TCM West - February 2013

Page 1


TOP CROP MANAGER

CHOOSING INOCULANTS

Optimize your pulse

A complex and present danger

6 PHOSPHORUS ‘SWEET SPOT’

Achieving optimum yields PG. 20

Get the cleanest fields in the fastest way possible this spring. Tank-mix glyphosate with HEAT® herbicide and you’ll get the most complete control from your pre-seed and chemfallow applications. Learn more by visiting agsolutions.ca/heat or calling AgSolutions® Customer Care at 1-877-371-BASF (2273).

TOP CROP

24 | Open-pollinated corn back on the ld-fashioned corn for cattle, the standard before hybrid corn came along, is back. By John

68 new pea, lentil and chickpea developments

Bruce Barker

84 new group 14 product for soybean

John Dietz

AND NUTRIENTS 20 aim for the phosphorus ‘sweet spot’

John Dietz 80 need for phosphate in alberta

Donna Fleury

8 Controlling roundup ready canola

Bruce Barker

another step forward for food

Carolyn King

10 | Spike in blackleg raises concerns researchers focus on pathogen races and resistance.

18 Transfer tracks between heavy farm wagons, carts

John Dietz

Hemp is making money for Canadian growers

John Dietz

Two new crops offer potential

Donna Fleury

Improving control of ascochyta blight

Carolyn King

Making the best inoculant choices

Donna Fleury

Seeking optimum plant populations for soybeans

Donna Fleury

GRAIN GUARDIAN

48 | Barley 180 project seeks to increase yields

Field-scale trials are testing new options to ramp up yields.

Carolyn King

protect binned grain from infestations CROP

28 Be cautious with new products

John Dietz

42 Increase your yields of irrigated crops

Donna Fleury

BUSINESS MANAGEMENT 86 Smartphones and Twitter can help you farm

John Dietz

FIBRE CROPS 38 proven woody biomass harvesting technologies

Tony Kryzanowski 2013 TRUCK KING 74 Truck King Challenge

Howard J. Elmer FROM THE EDITOR

Weather gone wild

Janet Kanters

Photo by John Dietz.

WeaTher goNe Wild

Weather has always been in the forefront of human consciousness – man is aware of the surrounding climate at every minute of every day. We arise in the morning and one of the first things we do is look outside to “see what it’s doing” weather-wise. We check the weather reports before we dress and before we leave the house to go to work. We look at the long-term forecast to determine the weather for that evening and the rest of the week. our obsession with the weather certainly isn’t modern-day thinking – neanderthals and more modern Homo sapiens surely checked the weather from their caves to determine how the day’s hunting would go, and what grasses and vegetables would be ready for cooking and eating (new research in 2012 shows evidence that neanderthals – previously thought of as solely carnivorous – not only ate a range of cooked plant foods, but also understood their nutritional and medicinal qualities). Indeed, early man knew the seasons then as well as we do now – after all, weather affects animal breeding, migration and hibernation patterns, as well as plant growth and development.

overall, man has learned to work with the weather in most circumstances. We know we can’t do anything about the rain that’s falling that day, or the frost that came in the night. But weather forecasting has helped us plan for some of these contingencies and we get along pretty well. Yet throughout all of man’s years on this earth, we have had to contend with extreme weather conditions that have resulted in a drastic change of what we know and how we act. We’re all familiar with the Dirty Thirties – drought and dust storms during these years caused major ecological and agricultural damage to the Canadian prairies. an excellent documentary entitled The Dust Bowl was released in november, chronicling the Dirty Thirties on the american great plains. Lesser known but as fascinating is digital footage covering the Canadian prairie experience during the Dirty Thirties on the CBC website, http://www.cbc.ca/archives/categories/ environment/extreme-weather/drought-on-the-prairies.html. In some of the footage, Western Canadian farmers were interviewed in 1961, a year in which another drought occurred that was, according to some, worse than the drought of the 1930s in terms of crop yields.

Whether or not you believe in “global warming,” we can all agree there’s been a change in the weather. During the past decade we’ve seen “once-in-a-millennium occurrences” of rainfall/flooding events. We’ve seen severe droughts in places like Texas, australia and russia, as well as in east africa, where tens of thousands have taken refuge in camps. Deadly heat waves have hit europe, and record numbers of tornadoes have ripped across the United States. Most recently, we’re experiencing a north american drought that began in the southern United States in 2010 and has since expanded to most of the U.S., to central and eastern Canada, and to parts of Mexico.

So what’s going on? are these extreme events signals of a dangerous, human-made shift in earth’s climate? or are we just going through a natural stretch of bad luck? The debate is everywhere, from offices in our nation’s capital, to coffee shops on the prairies. no one will agree on the exact reasons. In agriculture, what can be agreed upon is that we need to develop a smart approach to extreme weather occurrences by attacking all the risk factors, including designing crops that can survive drought or resist attack from pests; designing buildings that can resist floods and high winds; and developing policies that discourage people from building in dangerous places. only then can we be prepared for whatever the weather throws at us.

Readers will find numerous references to pesticide and fertility applications, methods, timing and rates in the pages of Top Crop Manager. We encourage growers to check product registration status and consult with provincial recommendations and product labels for complete instructions.

fIelD eDITor Bruce Barker • 403.949.0070 bruce@haywirecreative.ca

SaleS ManaGer Kevin Yaworsky • 403.304.9822 kyaworsky@annexweb.com

ManaGer Steve McCabe • 519.400.0332 smccabe@annexweb.com

aSSISTanT Alice Chen • 905.713.4369 achen@annexweb.com MeDIa DeSIGner Kelli Kramer vP ProDucTIon/GrouP PublISher Diane Kleer dkleer@annexweb.com PreSIDenT Michael fredericks mfredericks@annexweb.com

PUBLICATION MAIL AGREEMENT #40065710 reTurn unDelIverable canaDIan aDDreSSeS To cIrculaTIon DePT. P.O. Box 530, Simcoe, ON N3Y 4N5 subscribe@topcropmanager.com Printed in canada ISSN 1717-452X cIrculaTIon e-mail: subscribe@topcropmanager.com Tel.: 866.790.6070 ext. 202 Fax: 877.624.1940 Mail: P.O. Box 530, Simcoe, ON N3Y 4N5

SubScrIPTIon raTeS

Top Crop Manager West - 8 issuesFebruary, March, Mid-March, April, June, October, November and December1 Year - $45.00 Cdn. plus tax

Top Crop Manager East - 7 issuesfebruary, March, april, august, october, november and December - 1 Year - $45.00 Cdn. plus tax

Specialty Edition - Potatoes in Canada - February1 Year - $16.00 Cdn. plus tax

All of the above - $80.00 Cdn. plus tax

Occasionally,

www.topcropmanager.com

Heavy-Duty Dual Scissor Lift Undercarriage: massive 4" x 10" tubing and extendable axles

flighting with a 6" one piece rubber extension to prevent grain splashing

It’s the auger you asked for. Wheatheart’s latest innovation - the X Series auger features over 75 new performance enhancements. With a precision engineered, commercial strength frame and redesigned hopper, the X Series offers unmatched serviceability and X-treme durability. The X Series 13" auger is available in 74' , 84' and 94' lengths.

Steel Trussing: 84' and 94' auger, 2½" steel trussing for maximum strength and stability

Stabilizer Bracket: keeps the spout level and auger straight regardless of which side the swing hopper is on

Tapered Boot: maintains maximum capacity when the auger is raised to it’s highest position

Tapered Swing Hopper: 10.5" low profile hopper has left and right hand

i mprovi Ng coNT rol oF a S cochy Ta bligh T

A

complex and present danger.

Ascochyta is a fungal disease that can cause substantial yield losses in field pea under wet, cool conditions, especially if the disease infects the crop early in the growing season.

according to Dr. Bruce gossen, research scientist with agriculture and agri-Food Canada (aaFC) in Saskatoon, Saskatchewan, ascochyta is a disease that is always present.

“I don’t think I’ve ever walked into a pea field in Western Canada where there wasn’t at least some ascochyta blight,” he notes.

Fortunately, gossen and other prairie researchers continue to work on ways to improve control of ascochyta.

What’s in a name?

Sometimes this disease is referred to as “ascochyta blight complex” because three different fungal species can cause the disease in field pea: Ascochyta pinodes, Phoma medicaginis and Ascochyta pisi. The disease is also often called “mycosphaerella blight” because Mycosphaerella pinodes – which is the sexual form of A. pinodes – is by far the most common cause.

The disease can affect all parts of a pea plant. The symptoms differ somewhat among the three fungal species, but in general the initial symptoms are small brown to black or purplish lesions (damaged areas) on the leaves and stems. as the disease progresses, the lesions enlarge and coalesce, causing blighting, foot rot, weakened stems and lodging, and infected pods and seeds. The damage to the leaves reduces the plant’s photosynthetic capacity, which reduces seed yields. Lodging not only reduces harvestability, but also further promotes the disease by trapping moisture in the canopy. Lesions on the pods may cause discoloured, shrunken seeds and affect crop yield and quality.

The ascochyta fungi overwinter in soil, seeds or crop residues, and can survive for several years. In the growing season, all three pathogens produce asexual spores, which are dispersed by rain splash over short distances, causing infection in the crop canopy.

But M. pinodes also produces sexual spores. “Mycosphaerella pinodes usually releases sexual spores in the spring or early summer.

ABOVE: Applying a fungicide to small-plot research on ascochyta in field pea.

Those spores are dispersed mainly by wind. They fall onto young pea plants and initiate the epidemic,” says gossen. “Then there’s secondary spread from asexual spores produced on infected leaves within the canopy. In Western Canada, a lot of the disease is probably from the wind-borne spores, with not much secondary spread until quite late in the season after the crop canopy is closed, because humidity tends to be low on the prairies and rainfall events tend to be short, sharp bursts.”

Mycosphaerella pinodes can be an especially tough foe. “Because sexual reproduction is an important part of its life cycle, M. pinodes is genetically diverse,” notes gossen. “and within the pathogen’s population there’s resistance to just about everything we have ever found that might be a good source of resistance [in pea plants]. Because the wind-borne sexual spores are dispersed over large distances and because portions of the population can already overcome most sources of resistance, the pathogen population is very quickly able to adapt and overcome any resistance we deploy in a field.”

according to gossen, A. pisi used to be far more important on the prairies. “However, breeders inadvertently included sources of resistance to A. pisi when breeding for pea yield because those lines yielded better. So those resistant lines became the basis of the material we’re using now. That left a void that M.a pinodes then managed to fill.

“recently we’ve started seeing in some limited areas in southern Saskatchewan more samples of seed that carry A. pisi,” adds gossen. “That may indicate a change in production practices or perhaps the pathogen is very slowly overcoming the resistance in the existing cultivars. This is not a matter for alarm; it’s just something we’re keeping an eye on.”

Managing the disease

gossen recommends that about 95 percent of mycosphaerella blight management occur before planting. one key step is to select a cultivar with a better ability to fight the disease.

“none of the current varieties have a high level of resistance to mycosphaerella blight, but some of them are moderately susceptible while others are highly susceptible. If you’re having any kind of issue with mycosphaerella blight in your field or your area, then choose varieties with moderate rather than high susceptibility,” says gossen, who adds cultivars that tend to resist lodging are a good choice, too.

Crop rotation is also helpful. “If you grow peas on peas, for example, you are almost certain to get more disease, get it earlier, and have it causing more problems than if you have at least a one-year break or preferably a two-year break between pea crops.”

gossen’s third tip is to consider the field history of nearby fields. “If a field right next to your field was planted to peas the previous year and had a bad epidemic, you might consider not planting peas in your field this year or, if you do plant peas, be ready to deal with more disease in the field.”

He also recommends testing pea seed for germination and vigour, but not for the disease. recent research by gossen and his colleagues showed the level of seed-borne infection wasn’t very important to the level of mycosphaerella blight in a field, but it did significantly affect pea yield. “Infected seed almost always has a lower germination. To my mind, getting an estimate of germination is more important than looking for the level of infection in the seed.”

and his fifth tip is to plant your pea crop early, as soon as soil conditions are suitable. “planting early increases the crop’s yield potential,” says gossen. “a high yield potential means that even if you lose a little bit of yield to disease, you’re still yield ahead and money ahead.”

If you’ve taken these initial steps, but the disease still becomes a problem, then consider applying a foliar fungicide. “There are several fungicides which can be applied at early to mid-flowering that are quite effective at reducing levels of disease. In a wet season, you might need two fungicide applications to control the disease. In a dry season, probably no applications of fungicide are justified,” notes gossen.

Intriguing possibilities for better control researchers from aaFC, provincial governments and universities in Western Canada are continually investigating new possibilities for improving ascochyta control in field pea. gossen says pulse grower groups are a vital funding source for this research. “The grower groups recognize that diseases have been a major constraint to pulse production in Western Canada. They’ve put a lot of money into breeding and plant pathology research, and it’s having an important impact.”

Breeding programs at aaFC and the University of Saskatchewan’s Crop Development Centre (CDC) are working on various approaches to improve resistance or tolerance to the disease, although it is a challenging task given the ability of M. pinodes to overcome resistance.

according to gossen, recent research at the CDC indicates an intriguing possibility for field pea breeding. The results show an association between increased stem strength and reduced mycosphaerella blight. “I think one of the best options would be to develop cultivars with stronger stems so infected stems wouldn’t break and the crop wouldn’t lodge as easily,” he notes. “That would have a large impact on the amount of yield loss suffered every year in Western Canada. Dr. Tom Warkentin, a pulse breeder at the CDC, is looking into this possibility.”

gossen was involved in a small plot trial in the late 1990s that showed lodging alone lowered field pea yield more than any amount of disease that developed in the plots. “So cultivars that stand up better are not only easier to harvest and easier for weed and disease control, but they also have more yield,” he says. “If you could control both the disease and lodging, then you would get huge benefits.”

gossen’s current areas of interest include fungicide issues for mycosphaerella blight control. For instance, a key problem he wants to solve is that although foliar fungicide applications provide good control of the disease, it is really hard to predict when that control will result in a major yield boost. He suspects the interaction between the disease and lodging is at the heart of solving this problem.

“The disease takes the leaves off, which affects yield, but it is a small, incremental effect until the disease gets into the stems, the stems break and the crop lodges. So there’s a series of small incremental impacts, until you reach the breaking point and then you get big yield losses,” he notes. “We need to figure out what exactly we have to do to fix this – whether we need to control the disease earlier so the crop doesn’t get to that breaking point, or if we need to bring in resistance genes from much wider crosses, or whether it’s actually possible to breed for stronger stems that don’t break even when there’s lots of disease. If we can figure that out, then we can tell growers with some assurance what they need to do to control the disease and get a good yield boost.”

another research interest is the possibility that strobilurin fungicides have a secondary effect on the health of pea plants. gossen and Dr. Sabine Banniza of the CDC are hoping to be granted funds to investigate this issue for ascochyta blight in peas next year.

Hopefully, through these and other research studies, western Canadian field pea growers will have improved control strategies for ascochyta blight complex in the near future.

CEREALS

c oNTrolliNg rouNdup ready caNola voluNTeerS

Herbicide options narrow for special crops.

As crop rotations narrow and herbicide-resistant canola varieties are grown more frequently, controlling roundup ready canola volunteers in a pre-seed burndown becomes more critical. While Liberty Link and Clearfield canola volunteers can be controlled by glyphosate in a pre-seed burndown, volunteer roundup ready canola needs a little something extra.

For pre-seed burndown prior to most cereals, there is a fairly wide choice of herbicides to tank-mix with glyphosate, including some of the phenoxies, dicamba, Heat and tribenuron. For many special crops, and even canola, though, the choice narrows down to amitrol and CleanStart.

“CleanStart leaves little or no residue to cause trouble in crops like chickpea, canola, lentil, field pea and flax. From the work I’ve seen, CleanStart seems safe on most crops,” says weed scientist eric Johnson at agriculture and agri-Food Canada at Scott, Saskatchewan.

CleanStart contains the active ingredients glyphosate and carfentrazone. It is a contact herbicide, and can be used prior to seeding as a preseed burndown. Johnson says some growers are less than happy with its performance, but he says if it is applied properly it performs well.

CleanStart should be applied when volunteer canola is small. For non-roundup ready canola volunteers, it can be applied to actively growing weeds up to 10 centimetres in height. However, in the case of a roundup ready volunteer canola, CleanStart should be applied at the

one- to three-leaf stage because only the carfentrazone active is controlling the volunteer: the glyphosate component does not contribute to the control of the glyphosate-resistant biotype. applying CleanStart at the earlier growth stages of the volunteer canola (one-leaf stage) will provide more consistent results than applying at later stages of development.

Following label guidelines for application is also very important to the performance of CleanStart. Since carfentrazone’s activity is through contact, good coverage of the weeds is required. This is achieved with high water volumes of 10 gallons per acre, and a nozzle and pressure combination that delivers a medium droplet spray quality.

“For growers using a lower water volume and coarser sprays, it is hard to get CleanStart to work,” says Johnson. “It is really sensitive to application parameters.”

another pre-seed herbicide that can be used prior to some special crops and canola is amitrol. amitrol has been around for quite a few years, and is making a comeback of sorts. While it is still fairly expensive, Johnson says, it provides a good option.

“I would like to do some work on amitrol application rates and tank mixes to see if we could reduce the cost per acre,” he notes.

In wheat, barley, field peas, chickpea, field corn, lentil and oat, Heat tank-mixed with glyphosate is another good option. Heat is not registered as a pre-seed application prior to canola, dry beans, flax, forage grasses or rye.

Herbicides for use before seeding or after seeding but prior to crop emergence

S pi K e i N

blac K leg rai Se S coNcer NS

Researchers focus on the characterization of pathogen races and resistance to help risk assessment and management.

Growers have come to rely on planting blackleg resistant canola varieties as a strategy for managing the disease. However, many growers across Western Canada have been tightening their rotations to take advantage of economic opportunities, a practice that can increase the risk of blackleg developing and blackleg resistance being eroded or overcome.

researchers and industry are concerned about recent developments and are working to develop strategies to reduce the risk of losing the durability of current gene resistance.

“o ver the past few years, especially in 2012, we have seen a bit of a spike in blackleg disease in canola across Western Canada,” says Dr. g ary peng, research scientist with a griculture and a gri-Food Canada ( aa FC) in Saskatoon, Saskatchewan. “We are not sure if it is the beginning of a new phase of the disease or if it was mostly related to the environmental conditions in the spring of 2012 that caused higher levels of infection in some

areas. However, the biggest concern is that in isolated fields some of the r-rated varieties were badly damaged, responding more like a susceptible variety than a resistant variety.”

researchers and industry have been concerned about the potential breakdown in blackleg resistance for some time. new races have been isolated that are overcoming resistance in australia, e urope and Canada, sometimes in as little as three years.

“We are currently doing research to look at the composition of the pathogen race structure in the fields where we saw severe damage this year,” notes peng. “We are also looking at the overall race structure of the pathogen and where these races occur across the prairies, because to be able to manage the disease effectively with genetics, we need to know what the pathogen populations are.”

TOP: Blackleg symptoms on a canola leaf.

INSET: Sclerotinia stem rot (left) and blackleg (right).

Photos

How do you know if the 9R/9RT is right for you?

Ask yourself…

Are you the type of person who recognizes that price is negotiable but value is not?

Do you want a tractor that delivers high, consistent performance throughout the year–not just during a wet Spring?

Do you want a cab that’s comfortable, reƟned and well-equipped, and a tractor that has the horsepower to get through a tough day of Ɵeld work?

Do you Ɵnd value in a dealer network that supports both the iron and the technology, because you’d rather be in the Ɵeld than waiting on parts?

Finally, ask yourself this…when the day comes, and you’re ready to trade your 9R/9RT in for a new John Deere 4WD, would you prefer that your investment not lose a signiƟcant portion of its value?

It takes a special person to own a 9R/9RT. If you base your buying decision on quality, cost of ownership, strong dealer support and high resale value, then call your John Deere dealer today and ask to test drive a John Deere 9R/9RT Series Tractor. Because Nothing Runs Like A Deere. ™

Canola breeders can use both quantitative and qualitative resistance to develop blackleg resistant varieties. Quantitative resistance is largely due to many genes, each with a relatively small effect. Qualitative or specific gene resistance acts in a gene-forgene fashion between avirulence (avr) genes of Leptosphaeria maculans (the pathogen that causes blackleg) and the matching resistance (r) genes in the plant. resistance only results if both the avr gene in the pathogen and the corresponding r gene in the host are present; otherwise, a susceptible reaction results and disease symptoms are observed.

“…lengthening the rotation is still the best strategy for managing blackleg.”

previous research has identified at least 14 avirulence genes effective against L. maculans. “We have several research projects in collaboration with Dr. Dilantha Fernando at the University of Manitoba, including one where we have compared the pathogen race structure across Western Canada in 2007 and in 2010, and most recently analyzing results for 2011 and 2012,” says peng. “generally several avr genes were low in the pathogen population, which will cause plants with the corresponding r genes to be ineffective. For example, the av3, av9 and avLep1 showed substantially lower frequencies in 2010 than in 2007, which means cultivars with those specific resistance genes will not be effective.”

although most commonly grown varieties of Brassica napus canola carry moderate to high resistance to L. maculans, the type of resistance or the specific genes for resistance present in a variety are not generally known. “In another collaborative project, Dr. Fernando’s group characterized the r genes in about 100 commercial cultivars,” says peng. “not surprisingly, we are finding that most of those r genes are rlm1, rlm3 and occasionally a few others. about 80 percent of our current cultivars have rlm3 or rlm1, making the resistance spectrum very narrow in the majority of our cultivars.”

on the positive side, researchers are finding that many of the companies have also included a strong selection of quantitative resistance in the genetic background, which can provide a wider range of activity against different races. “This is likely why the breakdown in resistance has been isolated so far,” notes peng. “It also gives plant breeders an opportunity to consider including

RATING BLACKLEG SEVERITY

The Western Canada Canola/Rapeseed Recommending Committee (WCC/ RCC) rates diseases incidence and severity in blackleg.

The severity of blackleg infection is evaluated on a minimum of 100 plants averaged over four replicates at crop maturity. Individual plants are uprooted, cut through the basal part of the stem and scored on the basis of the amount of disease present using the following 0-5 scale:

other r genes that haven’t been used much, such as rlm4, rlm7 or rlm6, in any of the varieties with high resistance, and when combined with quantitative resistance, will result in much more durable cultivars.”

peng is optimistic that in the long run, looking at both the pathogen and resistance aspects in combination with practical management practices should allow industry to manage the disease effectively.

Risk assessment and management

growers are encouraged to look at blackleg management in terms of risk assessment and risk management. “We know that resistance genes are not infallible and they do break down, as we have seen in isolated fields across Western Canada,” says Clint Jurke, agronomy specialist with the Canola Council of Canada (CCC). “We have found some fields where r-rated canola varieties had high levels of blackleg, but it has been fairly isolated to individual fields and all comes back to the grower’s rotation. Usually the problems are in fields where growers have been on a tighter rotation and have used a single variety or a similar variety in that tight rotation, which puts the same type of resistance under pressure.”

growers should assess the risk of the various blackleg management practices they plan to use in their canola cropping system and select appropriate strategies depending on whether they are at a high or low risk of disease pressure. For example, growing canola in a tight rotation (canola more frequently than one in three years) will increase the risk for development of blackleg and the risk of blackleg resistance being eroded or overcome. If growers make one management decision that is high risk, then they should be making another management decision that is low risk to balance that out. Tight rotations are high-risk behaviour, so will need to be balanced with rotating varieties that have different resistance backgrounds, scouting and characterizing fields for disease pressure, and possibly including fungicides to try to reduce some of that disease.

“The conclusion of much of our research over the past several years has confirmed that lengthening the rotation is still the best strategy for managing blackleg,” says Dr. randy Kutcher, research scientist at the University of Saskatchewan. “The pathogen overwinters on the lower stem and upper root pieces, which can take two to three years to break down and up to five years during a series of dry seasons. With the most popular rotation in much of the prairies going to a two-year rotation, there is a continuous buildup of those woody bits. We have tried experiments with practices such as

0 – No diseased tissue visible in the cross-section.

1 – Diseased tissue occupies up to 25

percent of the cross-section.

2 – Diseased tissue occupies 26-50 percent of the cross-section.

3 – Diseased tissue occupies 51-75 percent of the cross- section.

4 – Diseased tissue occupies > 75 percent of the cross-section with little or no constriction of affected tissues.

5 – Diseased tissue occupies 100 percent of the cross-section with significant constriction of affected tissues; tissue dry and brittle; plant dead.

Canola stems ranging from 0=no disease in cross-section to 5=plant dead.

Comparison of frequency of avirulence genes in L. maculans population between 2010 and 2007, in Western Canada.

Frequency of Avirulence Genes, 2010 (MB, SK, AB)

In this comparison,

Frequency of Avirulence Genes, 2007 (MB, SK, AB)

ineffective.

cultivation or conventional tillage or even burning, but none of them got rid of the canola residue.”

Fungicides are another option, but so far research hasn’t shown them to be a very effective option as compared to rotation or resistance. “[Fungicides] provide a third management tool if resistance fails or if growers are using a tight rotation,” says Kutcher. “Fungicide treatments are more of a rescue measure if other options fail.”

peng agrees and adds that continued research is showing that if a grower has a variety that has completely lost resistance and applies fungicides early enough to deter the infection on the cotyledons, or lower leaves, then fungicides might be a choice at that time. However, pathogens can also easily develop resistance to fungicides, so repeated use is not recommended.

“We were also surprised this year how industry at large seemed to have lost the skill set for identifying blackeg in the field,” says Jurke. “Some fields with blackleg infection were being misidentified as having brown girdling root rot or sclerotinia stem rot. So learning to identify blackleg symptoms and scouting is very important.”

growers should scout fields early in the spring, but most importantly, scout at swathing to assess the amount of blackleg infection in the crop. Take clippers to the field, pull the roots of a few plants out of the ground and look for blackened tissue inside the crown of the stem. The amount of infection present will help identify the level of risk and the best management practices for that field in following years.

“We are looking forward to the results of the research on pathogen races and characterization of the resistance genes in the available commercial varieties,” says Jurke. “This information will help growers determine what variety they should be planting in sequence in the field. We hope to have this information available before spring of 2013.”

although many varieties possess one resistance gene, some varieties have multiple resistance genes, which makes them more durable and more difficult for the pathogen to overcome. growers, researchers and industry have to work closely together and implement best practices to reduce the risk of losing blackleg resistance and protect the profitability of the

industry.

Canola affected by blackleg.

SHARE INFORMATION ACROSS THE ENTIRE FARM

• Share guidance lines and coverage maps from vehicle to vehicle.

• Exchange prescription maps, guidance lines, coverage maps, drainage designs, soil sampling/scouting jobs, and yield data between the office and field.

• Access real-time movement of your vehicles, engine performance data, vehicle alerts, and vehicle breadcrumb trails.

• FREE! Use the Connected Farm™ app on your smartphone to map field boundaries, flag points of interest, and enter scouting information.

• FREE! View and analyze your collected mapping and scouting data from the online viewer.

Powered by Solumax® soluble granules, Express® dissolves completely into solution for more e ective weed control and easier, more consistent sprayer cleanout. It’s no wonder Express® goes down with glyphosate more than any other brand in Western Canada.

Crank up the rate all you want, glyphosate alone still misses a number of hard-to-kill weeds. With hotter-than-hot systemic activity, DuPont™ Express® herbicide doesn’t just control weeds, it smokes them from the inside out, getting right to the root of your weed problems with performance that glyphosate alone can’t match. Say goodbye to hard-to-kill weeds like narrow-leaved hawk’s beard, ixweed, stinkweed, dandelion and volunteer canola.

Express® brand herbicide. is is going to be hot. Questions? Ask your retailer, call 1-800-667-3925 or

estern Canadian farmers continue to bene t from tools such as glyphosate for non-crop weed control practices including pre-seed, chemfallow and post-harvest herbicide applications. ose applications are an important tool in reducing weed competition for moisture and nutrients, and – particularly for pre-seed applications – can help guarantee the best start for a new crop.

But in recent years, growers have seen an increase in the number of documented cases of weed resistance in Western Canada, proving glyphosate alone can no longer do the job. Now, researchers suggest that mixing herbicides with multiple modes of action and using them in the same spray will go a long way in helping to control glyphosate-resistant weeds, and preventing new herbicide-resistant weeds from developing.

UNDERSTANDING RESISTANCE

Weeds become resistant when they’ve had too much of a good thing. Practices and crops that work well one year are less e ective in consecutive years, if there’s no break in routine. at’s why healthy rotation – of crop types, practices and herbicides – is essential.

It’s becoming increasingly clear that using glyphosate alone will not control glyphosate-resistant kochia and may increase the risk of glyphosate-resistance occurring in other weed species in the future. With the emergence of Roundup Ready® volunteers, as well as hard-to-kill weeds that are not controlled by glyphosate alone, growers have found that including an add-in like DuPont™ Express® brand herbicide helps to control these weeds and manage resistance.

MANAGING RESISTANCE

Crop rotation

Ideally, any healthy eld will have a rotation of at least three crop types. Research suggests it is equally important to incorporate a host of other natural methods of weed control such as higher seeding rates, the use of clean seed, mowing out suspected resistant weed patches before they go to seed and using herbicides according to label directions.

Utilizing multiple modes of action

Herbicides are categorized into 17 di erent groups according to how they target a weed. For example, Sulfonylurea (member of Group 2) herbicides control weeds by inhibiting the enzyme acetolactate synthase, which is essential to their growth.

“If at all possible, producers should use mixtures of herbicides that use multiple modes of action in the seeding year,” says Ken Sapsford, University of Saskatchewan. “It’s one further step to help stop resistance from developing.”

Group 2 herbicides are a highly e ective way to control weeds – but like other herbicide groups they need to be used appropriately, and utilized with herbicides from other groups in the same spray to help manage resistance.

EFFECTIVE NON-CROP USE OF GROUP 2 HERBICIDES

Pre-seed weed control is a practice that began in cereal crops, and is increasingly popular as an increasing number of Western Canadian farmers adopt minimum tillage practices.

In spring, particularly if the crop rotation included a crop such as RR canola, DuPont scientists recommend a pre-plant/burndown herbicide treatment such as Express® brands (Group 2) or PrecisionPac® NC-00439 or NC-0050 (Group 2) as an add-in with glyphosate to take advantage of multiple modes of action. Because both Group 2 and Group 9 herbicides have activity on many of the same weeds, growers automatically get multiple modes of action where they need it most. In certain areas, adding a third mode of action such as dicamba, 2,4-D or MCPA (Group 4) is advisable, and can be recommended by an agronomist.

“We know that if we control those weeds early with a burn-o and then come in and seed, controlling those weeds and conserving moisture is the best option,” says Ken Sapsford, University of Saskatchewan.

e Express® brands signi cantly improve control of tough weeds such as dandelion and narrow-leaved hawk’s beard in a pre-seed burn-o or post-harvest burndown. Not only will growers improve their weed control but they will also be hitting weeds with actives from two di erent groups to help manage weed resistance.

THE RACE IS ON

e race is on among the world’s leading crop protection companies to tackle the development of weed resistance, and DuPont Crop Protection is committed to working with growers and retailers on solutions that protect the use of all the best tools.

A tank mix of Express® brand herbicides plus glyphosate provides multiple modes of action, allows for the sequential application of a di erent mode if needed, and gives a crop a running start for a productive growing season. DuPont will continue to promote the use of multiple modes of action in a single spray, because it is an e ective way to control problem weeds. DuPont is also committed to designing single and multiple active ingredient products with e cacious use rates and realistic performance claims – and DuPont is nimble enough to meet speci c eld needs and adjust recommendations based on what’s going on in the eld.

by

Tra NSF er T rac KS be TW ee N heavy Farm WagoNS, carTS

Eight- or 10-bolt hub interface makes it friendly for farmers to switch out wheels and put in tracks.

When the field is soft and the load is heavy, it would be nice to be able to replace the tires and wheel assemblies with a nice wide set of tracks. Some big farms are starting to do just that, with the help of new transferable track systems from two manufacturers.

Storm Tracker

In ohio, J&M Manufacturing has introduced the Storm Tracker track system as a replacement option for the wheel assembly on J&M grain carts. Storm Tracker is 146 inches long, 42 inches high, and weighs 11,350 pounds. It has 36-inch-wide belts for maximum flotation and reduced wear. It uses 24 hubs and has four mid-roller bogies on pivots. a leveraged airbag provides automatic tension control for the belts. Load is distributed across 52.5 square feet (7560 square inches). The compaction rating is 7.78 pounds/square inch when carrying a 1050-bushel load of corn.

J&M’s track system keeps the belts on the ground and floats over uneven points. It has a large pivot shank, four pivoting midroller bogies and a leveraged air spring to reduce compaction and maintain maximum effective surface area over uneven terrain.

Storm Tracker has been developed for service under the J&M large-capacity gravity wagons. Transfers can be done in most farm shops or yards with the proper equipment in a couple of hours. Market price for Storm Tracker is approximately $69,000.

TOP: The Transfer Tracks system with its 10-bolt hub interface can serve under several makes of grain carts, air carts, liquid caddies and other implements.

ABOVE: In spring 2012, Guenter Jochum and Tim Winter installed Elmer’s Manufacturing Transfer Tracks under their 550-bushel Bourgault 6550ST air cart. They did the first changeover in less than two hours.

Photos
John Dietz.

Transfer Tracks

In Manitoba, elmer’s Manufacturing has introduced Transfer Tracks with a 10-bolt hub interface. The system, which can serve under several makes of grain carts, air carts, liquid caddies and other implements, is available now through dealers in the United States and Western Canada.

elmer’s Transfer Tracks system has 46inch idler wheels and 16-inch bogie wheels, hydraulic track tensioning and pivoting midrollers that distribute weight evenly on uneven ground. The 36-inch custom-designed track has a low, wide-profile lug pattern that reduces berm production when turning.

“The market for these tracks is in two areas,” says eric Braun, sales and marketing manager for elmer’s Manufacturing. “The constant market is in the compaction problem areas such as northern alberta and Montana, due to the soil types and weather. They are looking for better emergence in their wheel tracks after seeding.”

The second market is seasonal and occurs with wet conditions on the prairies and great plains. For a few weeks every year, farmers need better flotation to get the crop in or get the crop off.

“We are confident we’ll be seeing tracks on seeding tools in Montana for seeding winter wheat or spring wheat, and on grain carts for the fall,” says Braun, who adds elmer’s will have distributors in Montana and other northern US states for 2013. Market price for the Transfer Tracks is about $47,000.

guenter Jochum and brother-in-law Tim Winter are early adopters of the Transfer Tracks system. They farm on red river clay gumbo west of Winnipeg, Manitoba, near the village of St. Francis Xavier, growing at least seven different crops on about 7200 acres. They struggle with compaction and wet clay, especially in spring and sometimes at harvest.

“The duals of the air cart ran exactly in the caster wheel tracks of the disk drill,” says Jochum. “With the air cart full you would have four-inch ruts in the seeded field, and this was a problem. Compacted soil causes uneven emergence and makes for a rough field. plus, trying to smooth over those tracks in one or two passes doesn’t always work.”

Their major tractors and combines already were equipped with tracks when they learned about the new option for carts. “our air carts and grain carts are only used seasonally, so we thought that a transfer system would be ideal,” says Jochum. “It seemed like putting our bigger equipment on tracks was

the next logical step.”

The Transfer Tracks arrived in spring 2012. They installed the system under their 550-bushel Bourgault 6550ST air cart. They did the first changeover in less than two hours. on the soft clay field, the system accomplished what they wanted. The belts under the cart smoothed out the two-inch indent from the caster wheels, leaving a smooth field finish.

For harvest, the partners transferred their track system to a non-elmer’s 1000-bushel grain cart, without the 10-bolt hub. The fit

was less than perfect, and after a few days of wear, they had to change bolts and reinforce the interface.

“We were very happy with the performance after we fixed it up, but we also had a very wet harvest,” says Jochum. “My guys really liked the way it (the cart with Transfer Tracks) rode across any sprayer ruts; there was no bouncing.”

Three Transfer Track belt systems arrived in spring 2012 at Laurie Michalchuk’s farm

Right place. Right time.

superior placement and enhanced availability of Wolf Trax® DDP® Micronutrients guarantee more consistent, early plant uptake for optimum growth and productivity.

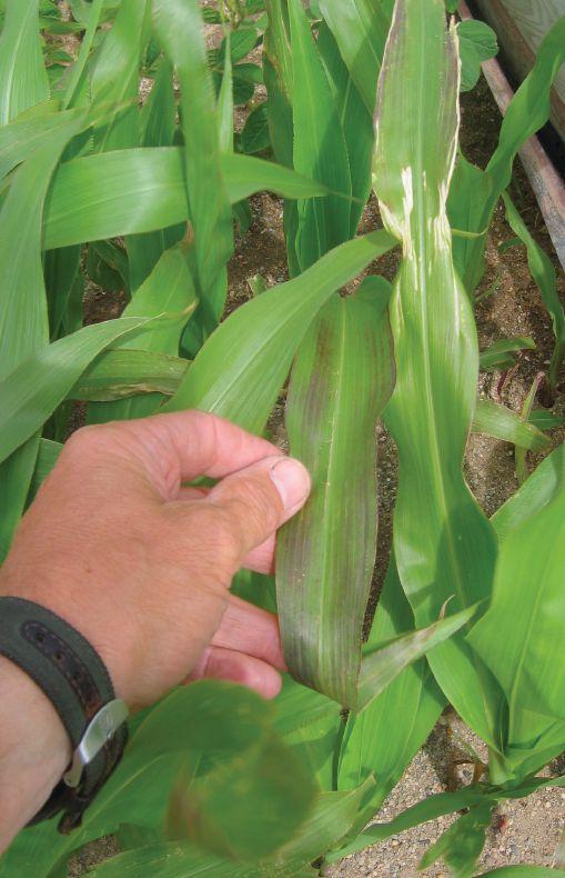
a im F or T he pho Sphoru S ‘SW ee T SpoT ’

Low rates of phosphorus are good for long-term fertility and for short-term farm income.

Between environmental concerns and crop management necessity, farmers can find a “sweet spot” for phosphorus applications where crops achieve optimum yields, according to Manitoba agronomists and researchers.

But finding it is the problem – there’s more to it than hitting the target level for this season’s crop needs, says John Heard, provincial soil fertility extension specialist with Manitoba agriculture, Food and rural Initiatives (MaFrI) at Carman.

Traditionally, phosphorus was the first yield-limiting nutrient on the eastern prairies. Summer fallowing would meter out nitrogen when phosphorus levels were lacking. Farmers learned that the yield response to even a bit of phosphorus was very beneficial. But some soils, usually manured, contained enough phosphorus that yields only occasionally increased with the application of additional phosphorus fertilizer.

adequate soil phosphorus was around 15-20 parts per million (ppm) when using the typical olsen soil test. If a field tested at less than 15 ppm, agronomists would recommend building up the phosphorus level in the field; if a field tested at more than that, agronomists would recommend using a low rate of starter phosphorus in the seed row to give the crop a bit of early season pop-up benefit when the soil was cold.

phosphorus treatments seemed to be a well-managed nonissue for farming until about the end of the last century. Then along came better testing, abundant supplies of phosphorus-rich hog manure, spring runoff, algal blooms along beaches and major

headlines. according to Heard, phosphorus just doesn’t behave the way we’d like. research is underway to provide better answers to the big questions.

researchers at the University of Manitoba (U of M) and agriculture and agri-Food Canada (aaFC) are leading studies to develop answers that agronomists such as Heard will use to give the specific advice needed for finding a ‘sweet spot’ in phosphorus application.

What’s changed

according to Don Flaten, soil scientist at the U of M, in recent soil testing, more than 55 percent of Manitoba fields were low in phosphorus. Levels of around 10 ppm were not uncommon in well-managed fields. “producers and agronomists are seeing some of their most productive land decline in soil testing, specifically because crops like canola, soybeans and corn often remove more phosphorus than the farmer can put down with the seed,” he says. “It’s hard to put on all the phosphorus the canola will remove without potentially damaging the seedling, so most farmers apply a lot less.”

Flaten adds that many farmers growing soybeans are not applying any phosphorus at all. This combination means that in the oilseed phases of crop rotation in southern Manitoba, soil phosphorus levels are being drawn down.

ABOVE: Phosphorus deficient corn showing early symptoms.
Photo courtesy of John

NEW EVEREST® 2.0. RELENTLESS ON WEEDS. SAFE ON WHEAT.

It’s rare to find a herbicide you can count on for long-lasting stopping power that’s also safe on wheat. The advanced safener technology in EVEREST® 2.0 makes it super selective for best-in-class crop safety. Safe on wheat, it’s also relentless on weeds, giving you Flush-after-flush ™ control of green foxtail, wild oats and other resistant weeds. And a wide window for application means you can apply at your earliest convenience. RELENTLESS ON

In the past, farmers might add extra phosphate in their cereal years so that they had surplus phosphorus to balance out the deficit phosphorus in their canola and soybean years. now, on most farms, that window of opportunity without canola or soybeans is only one year.

a third option that’s changed involves the use of manure as fertilizer. In the past, farmers who needed phosphorus could arrange to obtain manure from a nearby livestock producer who had excess manure. “The irony of this situation is, we have livestock farmers struggling with excess phosphorus in soils because we have new regulations, and we have crop producers who are concerned about low soil test phosphorus levels,” says Flaten. “We need to find a way to get these two groups of farmers to help each other out.”

even that has become more difficult, he observes, with consolidation of livestock production resulting in fewer but larger livestock operations in many rural communities.

What’s the problem?

applying the right amount of phosphorus to a field, or to seed, and based on a soil test, is not a straightforward proposition. The oilseeds that take out a lot of phosphorus also tend to be intolerant to large fresh doses of phosphorus, says Cynthia g rant, aa FC scientist at Brandon, Manitoba.

“Farmers tend to put low amounts of phosphorus with those crops, and put higher amounts in the cereal crops to prevent long-term depletion,” she notes. “That can be problematic because crops like flax or soybeans tend to feed from the bulk soil. Decent fertility levels in the bulk soil tend to increase the overall yield potential over time.”

Thus, if a spring soil test shows a high need for phosphorus in a given field, hitting the field with a matched application rate may be frustrating. “ p utting more fertilizer on won’t necessarily solve that problem, once you’ve depleted the phosphorus that’s distributed in your bulk soil,” says g rant. “Crops like canola or wheat are very good at using fertilizer phosphorus; soybeans and flax with the same access will struggle to get the right amount.”

What to do

The

Canola on the right responding to applied rate of about 15 lb./ac P2O5
Manitoba

applied only enough phosphorus for good yield response in that season, with little consideration for future crops. “Levels for this were appropriate and closely matched the yields we achieved 20-30 years ago, but not now,” he notes. “another fertilization approach is more commonly used in traditional corn/ soybean growing areas. Determine the phosphorus level now, determine what level you want to maintain for maximum yield potential and use that difference – rather than the specific crop need for this year – as a starting place to get a healthy balance.”

Suppose that a soil test says the field has phosphorus at 5 ppm and you want to raise it to 15 ppm. apply whatever you expect the current crop to remove and, above that, apply 20 pounds of phosphorus for each unit of increase you want to achieve above the current o lsen soil test level. (This is a general guideline based on research outside of Manitoba. g rant, Flaten and others are working on specific recommendations for Manitoba.)

However, that calculation (target ppm x 20 lb./ac) should be approached over two or more growing seasons. according to Flaten, less than 20 percent of the phosphorus applied to the field is taken up by the crop in the year of application.

If 150 lb. of p 2o 5 per acre was applied and 45 lb. was removed – such as by a 100-bushel-per-acre corn crop or a 50-bushelper-acre canola crop – the remaining phosphorus would go into building soil test phosphorus. Theoretically, this would raise the soil level by about 5 ppm.

“ people think phosphorus loss is permanent, that it is converted to insoluble forms and never used,” says Flaten. “Longterm studies show that the plants eventually use the phosphorus you apply. It is bumped down from one crop to the next crop in a cycle. That is why I talk about balancing the phosphorus over a rotation, assuming the phosphorus we put into one crop will remain available for another crop.”

Dad’s example

John Heard grew up on the family farm in o ntario. recently, on a trip home, he reviewed his father’s fertilizer and soil sampling experience. “When we took over the farm, both phosphorus and potash were quite depleted by renters growing hay and silage crops,” he says. “Dad carefully followed University of g uelph recommendations. The phosphorus built up slowly into the sweet spot over a number of years; he built up the potash more quickly over three or four years.

“o ver the last few years, he has depleted the soil bank account. That’s what you do, build it up into a working range and then just apply what the crop is removing in that working range,” adds Heard. “When you’re getting ready to sell the farm, just put on starter fertilizer for the last few years and deplete the account.”

Heard now is focusing on this message at agronomy meetings. For a low test soil, gradually build phosphorus (and potash where necessary) levels by putting on more than the crop will remove until it reaches that sweet spot where yield isn’t restricted and field runoff isn’t contaminated. o nce the soil test is within this working range, growers can focus on balancing phosphorus inputs and outputs during their crop rotation.

Those with very high soil phosphorus levels have the luxury – and responsibility – of using less than crop removal rates or only starter phosphorus rates in a soil drawdown strategy.

ope N -polli NaT ed

cor N bac K oN T he mar K e T

Old-fashioned corn for cattle, the standard before hybrid corn came along, is back.

In a small way, ron and Linda Catt are giving prairie ranchers an opportunity to grow corn the old-fashioned way: without hybrid vigour, but with the advantage of natural genetic diversity, if they want the choice. They have even developed their own corn brand and are selling retail to farmers.

Need for feed

The Catts have a herd of registered polled Herefords that ron’s father started in 1939. Sixty years later, they had adequate pasture during the grazing season but were limited in winter feed supply. They saw an opportunity to increase the herd size if they could increase the winter feed supply.

For starters, they tried growing dwarf corn in 1999 as a cash crop with residue that would serve the cattle as a winter forage. “We looked around and thought, the land we’re cropping is fairly decent, and corn might be an ideal fit on this better land,” says ron Catt. “We thought we’d grow corn for silage on that, and be

able to run 30 to 50 more cows on the same land base.” after a little experience with dwarf corn, they began looking for other corn options. They wanted an old-fashioned, openpollinated corn that Mother nature could pollinate, that could do well with a low rate of fertilizer and still produce a reasonable return – without risking the farm on the investment. “We didn’t like the costs that were involved with other corn; they were fairly high,” says Catt. “We kept looking (for options), and that’s how we came up with open-pollinated corn.” They found a supplier in southern o ntario and planted their first bag of open-pollinated corn in 2001. eventually, they wanted to be able to process about 50 acres of corn for silage.

TOP: Ron and Linda Catt have developed their own corn brand and are selling retail to farmers.

INSET: Catt Corn cobs are eight to 10 inches long, and yellow, red or orange in colour.

by John Dietz.

Photo s

Their corn originated from a cross of two lines, a tall, leafy 2700 CHU late-maturing open-pollinated corn suited to southern o ntario and an early maturing open-pollinated corn from the state of new York.

“o ur first plots did quite well,” notes Catt. “The corn was eight or nine feet high; we were quite pleased with what we saw.” Since then, Catt has sourced other open-pollinated corn and has been intentionally breeding open-pollinated corn suit ed to Western Canada.

Most cobs today are eight to 10 inches long. They are red, yellow, a mix with both colours, and sometimes orange. Catt Corn still is leafy, still grows seven to nine feet tall, and matures on 2150 to 2350 CHUs.

“We say it can do well on less fertilizer or manure because it has a more extensive root system than other corn,” says Catt. “Cattle tend to prefer it over other corn because it’s a little sweeter with a more tender stalk. We have a few dairy custom ers, who tell me their herds seem to have better health with it, too.”

Catt plants the corn crop in 30-inch rows with an average of 24,000 to 27,000 plants per acre, depending on the soil con ditions and intended use. He puts on approximately 40 to 50 pounds of fertilizer, including some manure.

o n the silage side, he hopes to harvest 12 tonnes to the acre. “I think 12 tonnes is a profitable crop when your inputs are not extremely high. Under the right conditions, it can do better than that,” he says.

Gearing up

Catt didn’t have a sheller in 2001 when they first became interested in open-pollinated corn, but they had long winter nights and curi osity about developing their own open-pollinated corn seed. “The first corn we actually shelled with our thumbs as we were sitting on the couch in front of the TV. We’ve come a long way since then. We have a proper sheller now,” says Catt.

By 2003, they were able to put 40 acres in the ground. They had a few acres in trials, too, to see if they could improve the perfor mance. Today, they have a fanning mill for cleaning. They also have a picker, conveyors and other pieces needed for converting acres of standing corn into bags of dry seed.

Out yields...right to the limit. Maximum yield performance.

When it comes to yield, VR 9559 G canola is competitive with any hybrid system – right across the prairies. What’s more, it offers bigger yield response to higher fertility rates.

For more information, visit your Viterra ag retail or,

Open-pollinated corn is a more affordable option for the Catts’ grazing operation.
Photo courtesy of r on cA tt.

Personal touch

The seed business began, unexpectedly, after a few people asked them for a bit of seed. ron and Linda spend about three weeks in the fall hand-sorting as the cobs first go into storage and drydown. around February, they hand-sort a second time as they feed the dry cobs into a sheller. Then, the kernels go through a cleaner and bags are filled. Samples of the corn seed are sent to a seed lab for professional germination testing.

The bags are weighed and piled on pallets, then placed in storage for spring delivery. The Catts collect orders through very limited advertising, trade shows and Internet contacts. “We try to group lots so that we can take a decent load in our cattle trailer and deliver it ourselves,” notes ron Catt. “Customers appreciate that. They get to meet the person who’s produced the product, and we enjoy it as much as they do.”

The Catts sell their open-pollinated corn in 55-pound bags from their farm in south-central Manitoba, between austin and Treherne. They have been selling it in Manitoba, and into Saskatchewan and alberta for six years, and often deliver it themselves in early spring. although most Catt Corn stays on the southern prairies, they have sent shipments to the eastern border of ontario, to northern ontario and to Vancouver Island.

online, they advertise Catt Corn as an early maturing “lower cost alternative for grazing and silage” that is seven to nine feet tall, leafy, with high nutrition and yield potential. It requires 2200 to 2350 corn heat units. each bag contains about 100,000 kernels, enough to plant four acres of open-pollinated corn at $25 an acre. Conventional hybrids for an equal plant population retail at about $45 an acre.

“We grow about 90 acres of corn now,” says Catt. “Some is for grazing, some is for silage and some is for seed. Depending on how things are, we might pick 40 or 50 acres for seed.”

Today, the Catts have met their original goal. They have increased the number of animals they can feed in winter, and they’ve added a whole new business as producers of open-pollinated corn seed.

Tra NSF er T rac KS beTW ee N heavy Farm WagoNS , carTS

CONTINUED FROM PAGE 19

two hours north of peace river, alberta. Laurie farms 5000 acres of wheat, barley and oats. His Transfer Tracks are permanent replacements for the tires and wheels under his air cart, anhydrous ammonia wagon and grain cart.

Michalchuk discovered the track system was too long to replace and support the rear wheels for his 90-foot SeedMaster drill, or else he might have needed four sets.

“I had two 1500-gallon tanks on the fertilizer wagon and spindles were breaking off the duals because the weight was so far out. I took the tires off, changed over to 10-hole spindles, and put the tracks on,” says Michalchuk.

The tracks worked so well under the air cart and wagon that Michalchuk decided to put the third set under his 1000-bushel elmer’s grain cart as a permanent installation. “next year, I’m going to put on three anhydrous tanks because the track will carry that much weight without much trouble,” he notes.

Michalchuk measured compaction after seeding, in tire tracks and belt tracks. It confirmed what he expected, there was compac-

J&M Manufacturing’s Storm Tracker track system uses 24 hubs and has four mid-roller bogies on pivots.

tion of seed rows under the tires but not under the tracks.

“Tracks leave a ridge on either side of your seed row. We probed right where the seed was, and found no compaction. The track actually packs the hump between the 14-inch seed rows,” he notes.

The whole driving experience changes when towing a heavy cart on tracks. “They tow really nice on the highway, and on the field. With tires, you could see it bouncing and the crop was shorter in those areas. With the tracks, the field is smooth and so is the ride.”

Photo by b ruce bA rker.
Catt plants on 30-inch rows with an average of 24,000 to 27,000 plants per acre.
Photo by John Dietz.

WIN BIG!

In 2011 and 2012, independent co-operators in Alberta, Saskatchewan and Manitoba put Nodulator ® XL to the test in

trials in peas and lentils. Crops inoculated with Nodulator ® XL out-yielded crops inoculated with competitive products 82% of the time, out-yielding our competitor’s product by an average of 1.5 bu./ac. or 3%. And 2012 grower

Mike Verbeurgt

Ceylon, SK

Lentil: 27 bu./ac.

Ben Hofer

Foremost, AB

Pea: 55 bu./ac. Lentil: 32 bu./ac.

Eli Wurz

New Dayton, AB

Pea: 60 bu./ac. Lentil: 35 bu./ac.

Paul Hofer

Lumsden, SK

Pea: 55 bu./ac. Lentil: 40 bu./ac.

Clinton Paysen

Central Butte, SK Lentil: 30 bu./ac.

Jeff Downey Perdue, SK

Pea: 52 - 54 bu./ac.

Miles Gerwin

Kindersley, SK

Pea: 40 bu./ac.

b e cau T iou S W i T h N eW produc TS

On new ground that could be a minefield, don’t take a step until you know it’s safe.

University of Saskatchewan soil fertility specialist

Jeff Schoenau wishes he could give an informed, scientific response to questions about specific new products. He can’t. o ften, very little independent third-party research is available for a new commercial product.

“What you are looking at is, in some cases, sorting agronomic fact from fiction,” says Schoenau. “There are a lot of products out there with various claims being made. a grower wants to be asking the right questions and really trying to see evidence as to what might be expected as far as performance from these products.”

a s a senior soil scientist at a leading agricultural school, Schoenau fields questions every month of the year about the quality, effectiveness and worth of soil-related products. Questions come from farmers directly and from former students who are licensed agronomists.

“a lot of the time, agronomists have a question that has arisen

as a result of a farmer being presented with a new product or process, and they turn to an agronomist. a gronomists may also receive promotional material directly, and they may in turn ask questions about the material or process,” he says.

Schoenau is often asked if he is aware of any research on a product that is new to the farmer or agronomist, or new on the supply-store shelf. “ not a lot of scientists are involved in product testing and comparison,” he says. “That’s because it can be difficult to publish the results. Sometimes it’s not very intellectually rewarding. a lways, there’s a question about the permanency of the findings.

“For example, there may be a change in formulation or design that renders the research time and money obsolete. a nd, just the sheer numbers of products makes it nearly impossible

ABOVE: Many years of testing in many conditions are behind the claims for familiar crop varieties and major fertilizers.

Photo

Save the N.

When surface applying urea, an average of 40% of the nitrogen can be lost into the air before the crop can use it. Adding AGROTAIN® nitrogen stabilizer can reduce this loss. It is easily blended and differentiates your urea. Help your crops reach their yield potential by using urea powered by AGROTAIN® stabilizer.

to address everything out there. It’s really hard to document, but there are always new products coming out.”

o ne issue that makes it challenging, he adds, is that products come and go. g ood science takes time and continuity. a product may be offered for a short while – such as one to three growing seasons – and then disappear, to be replaced with a new package, a variation in the formulation and perhaps a new name or new manufacturer’s name.

Evidence required

Label claims should be supported by solid, science-based evidence – but that isn’t always the case. “I think we are moving to a scenario where there is going to be less information as to efficacy of these products,” says Schoenau. “I think we are moving farther into a buyer-beware world. In some cases, there are less stringent regulatory requirements coming down the road in terms of these products having to prove their efficacy.”

“I

Check the facts, first

From his own experience, Schoenau can offer some tips on how to separate fact from fiction. He even challenges thesis students to get involved in fact-checking labels. primarily, he says, look for evidence that confirms the claim on the label. Many years of testing in many conditions are behind the claims for familiar crop varieties and major fertilizers.

Schoenau asks: Does the claim fall in line with general scientific principles and laws of nature? Is the claim within the realm of what is proven and known to science today? If not, be skeptical. If the claim sounds plausible, investigate.

Has the product been tested on a research farm, anywhere? If yes, can you contact that farm or research group? The strongest reason to trust is proof that the research was strong enough to be published in a professional journal. If the research is “underway” but not ready to publish, be careful.

If the retailer or seller says the product claim is based on information published in a professional journal or book – and if you’re seriously interested – ask for the name of the journal, the title of the research paper, author and contact information. If published research does support the claim, ask where the research occurred and when it occurred. If it was outside your own region, or done many years ago, the relevance to the growers own conditions may be limited.

Certification ask for any certification of the product.

The Canadian Food Inspection agency (CFIa) under the authority of the Fertilizers act, registers fertilizers, pesticides, micronutrients, supplements, inoculants, composts and other products.

Schoenau’s expertise is in fertility and fertilizers. When a new product makes claims for efficacy and user performance, it may be so new that very little information exists.

“If there isn’t much information out there, you certainly have more risk. Having a large database is inherently difficult for technologies that are just starting up. They may well be legitimate, but early joiners do face more risk. Do you have the means to absorb the risk?” he asks.

Test it

Determine if the evidence applies

your own farm, and make your investment on that basis. “Products can be quite variable in performance. They may work in one area under a given set of circumstances, and may not work so well somewhere else,” says Schoenau.

Ask for a demonstration. Try the product in a small area, or on a small scale, to determine if there is any benefit. Farmbased trials are much easier today with GPS and yield monitors on most combines. Even then, be careful.

A strip in a field that performs differently is evidence, but not proof, of efficacy. Good field science requires many replicated trials, often over several years, before the evidence is accepted as proof of performance. It’s unfortunate, notes Schoenau, that many growers are reluctant to leave a check strip or an untreated control strip.

“I say, doing and seeing is believing. Be open-minded and willing to learn, but have a basis for doing it.”

University of Saskatchewan soil scientist Jeff Schoenau says it’s crucial producers try any new product in a small area, or on a small scale, to determine if there is any benefit.
Photo courtesy of Jeff s choenau

your own farm, and make your investment on that basis. “ products can be quite variable in performance. They may work in one area under a given set of circumstances, and may not work so well somewhere else,” says Schoenau.

a sk for a demonstration. Try the product in a small area, or on a small scale, to determine if there is any benefit. Farmbased trials are much easier today with gp S and yield monitors on most combines. even then, be careful.

a strip in a field that performs differently is evidence, but not proof, of efficacy. g ood field science requires many replicated trials, often over several years, before the evidence is accepted as proof of performance. It’s unfortunate, notes Schoenau, that many growers are reluctant to leave a check strip or an untreated control strip.

“I say, doing and seeing is believing. Be open-minded and willing to learn, but have a basis for doing it.”

At the heart of plant health is Trilex® EverGol™ seed treatment for pulses, exceptional disease control and superior crop establishment.

Not only does Trilex EverGol provide exceptional protection from diseases like rhizoctonia and ascochyta, it also promotes overall plant health. The result is a higher performing root system, increased biomass and faster emergence, even when facing minimal disease pressure.

A strong pulse.

University of Saskatchewan soil scientist Jeff Schoenau says it’s crucial producers try any new product in a small area, or on a small scale, to determine if there is any benefit.
Photo courtesy of Jeff s choen

It’s the revolutionary chemistry that’s sparked more than one conspiracy theory. New PRIAXOR™ DS fungicide packs an impressive range of bene ts. It provides more consistent, broad-spectrum disease control through its multiple modes of action, and it delivers the unique plant health bene ts of AgCelence™ In short, that means greener leaves and stronger stems for higher yield potential. Visit agsolutions.ca/priaxords to nd out why all eyes are on BASF.

h emp i S ma K i Ng moN ey

F or c a Nadia N groW er S

A Manitoba hemp foods manufacturer is about to go mainstream.

Contracts for even more acres of hemp in Canada in 2013 are expected to be available at Christmas 2012 and snapped up by early February, according to Tom greaves, director of operations for Manitoba Harvest Hemp Foods (MHHF). about a third of Canada’s hemp production – mostly on the prairies – is contracted through the Winnipeg food manufacturer.

In 2012, the crop was estimated at 80,000 acres of contract production. Last year, Health Canada licensed a record 50,000 acres but due to extremely wet conditions, only about 35,000 acres were planted.

Manitoba Harvest will have contracts for both natural and organic hemp seed in 2013. other companies and co-operatives contract for hemp fibre and whole hemp. about 90 percent of production is located in Manitoba, Saskatchewan and alberta. a few growers are located in ontario, Quebec and British Columbia.

“The contract rate varies by company and location, but the range we’ve seen in 2012 for organic seed is about $1.10 to $1.20 per clean pound at the farm gate,” says greaves. “on the conventional you were looking at about 70 to 80 cents a pound. “production per acre is about 700 pounds of seed, but we have seen 1200 to 1300 pounds. Hemp reacts very well to nitrogen.”

Started in 1998

Manitoba Harvest began in 1998 after company co-founders successfully lobbied for legalization of industrial hemp in Canada. The tall-growing, easily produced broadleaf species is a natural cousin to the narcotic marijuana species, with identical appearance, but with negligible narcotic content – Manitoba Harvest products contain 0.0001 THC.

Manitoba Harvest founders, focused on seed and food uses, worked with the Foods Development Centre, portage la prairie, to process and package the seeds into products that consumers would find attractive.

Manitoba Harvest’s leading product today is its simplest –Hemp Hearts raw shelled hemp seeds. The company also has hemp protein powders, Hemp Bliss o rganic Hemp beverage and hemp oil.

Hemp contains the closest to ideal ratio of omega-6 to omega-3 (the World Health organization recommends a 4:1 ratio and

New hemp varieties are easier to grow than in the past.

hemp contains 3:75:1.). “Hemp foods are rich in easy-to-digest protein and omegas,” notes greaves. “a lot of people sprinkle Hemp Hearts on salads, yogurt, or cereal. Hemp Hearts taste great – similar to a pine nut or sunflower seed, are easy to use and so good for you – which is why hemp foods have done so well.”

Supply chain

Hemp Hearts now can be purchased in Safeway, Loblaw and Costco stores in Canada. americans buy hemp foods at Whole

SOMETHING BIG IN STORE

Grain Guard’s new line of 4" wide corrugated grain bins are manufactured using state-of-the-art technology and are available in diameters from 15' to 75' in flat bottom models, as well as 15' to 27' in hopper bottom models.

With an established catalogue of aeration and conditioning equipment, high-quality grain storage bins are yet another solution provided by Grain Guard

Since 2007, our Research and Development team has been working to improve our Classic Rocket design Resulting in an innovative, stronger and even more reliable rocket We are pleased to introduce The Next Generation Rocket

The revolutionary Retro Rocket is the only do-it-yourself rocket system that allows you to retrofit existing hopper bottom and smooth-walled bins with farm proven Grain Guard aeration. In as little as 45 minutes, a Retro Rocket can be installed in a hopper bottom bin.

The Next Generation Rocket

Foods Markets, a health food chain, and at Costco in some regions. Hemp Hearts also are distributed through many smaller stores, in both countries.

Manitoba Harvest helps pave the road for mainstream acceptance, but the collaboration with producers and governments has been essential. Major retailers require production that is reliable in quality, in sufficient volume, and available on a timely basis. Having a closed-loop system allows Manitoba Harvest to properly forecast seed supply and contract only what it will have a market for.

“o ne of the most important things I tell producers is to sign a production contract,” says g reaves. “Without a production contract there is no guarantee your seed will be taken.”

In 2008, Manitoba Harvest moved into a 20,000-square-foot, hemp-dedicated facility in northwest Winnipeg. The inspected facility includes an in-house quality control laboratory and employs about 80 people full time. Manitoba Harvest’s facility is organic-, kosher- and H aCC p-certified.

“When people think about Manitoba Harvest, we want them to think about quality,” says g reaves. “o nce seed is delivered direct to us, it goes through about 40 quality control tests before the end product is distributed to consumers. We put a lot of time and attention into our organic program, from working with producers to ensuring that our facilities are top notch in adhering to organic processes.”

processing ended the viability of the seed for germination,

but processing coupled with research and development opened the doors to international markets as a food product. “We ship some overseas to the e U but it’s a smaller portion of our business right now because there is so much market opportunity in north america. We’ve been growing by close to 50 percent a year in the past five years,” notes g reaves.

“In this last year, we’ve been closer to 100 percent growth as a result of consumers becoming more educated about hemp. people are looking for healthy substitutes into their diet these days and hemp is a great fit.”

Producer benefits

a s a vertically integrated company, Manitoba Harvest is involved from seed to shelf. o nce seed is cleaned, Manitoba Harvest pulls it to be delivered direct to their facility. products are made and packaged on site.

Hemp today is a versatile crop that can grow in most areas of Western Canada. It has a deep taproot that works well in drier regions. It prefers medium to light land, but can be grown successfully in heavy soils – such as red river valley clay – if it has good drainage.

Hemp is able to outgrow most weeds, but it is sensitive to excess moisture at germination and seedling stages. Crop protection products are not registered for hemp, but a level of crop insurance is now available for Manitoba and Saskatchewan growers.

a gronomically, the crop has improved greatly from 1998. The first varieties could reach 12 feet tall and produced legendary harvest trouble. Today’s hemp varieties are bred for highyielding seed production, for fibre, or for both purposes. Most varieties are five to six feet tall. They need to be direct-harvested with a draper header. g rowers can also select long- and shortseason varieties.

Cost of production for seed and fertilizer is similar to canola. The budget for weeds and disease control is lower than for canola, but something extra needs to be added for drying.

Hemp needs to be harvested at 18 to 20 percent moisture and then dried to below nine percent. High moisture eases the harvesting. natural “sisal” fibre in the plants becomes tougher to harvest as it dries down.

according to g reaves, producers who investigate their contract crop options will find an advantage with the Manitoba Harvest contracts. “ producers get a guaranteed delivery date and guaranteed payment terms,” he says. “They know when they are going to move their seed and when they are going to get paid. It allows individuals to have that comfort zone when they are deciding what they are going to grow in the spring.”

producers also need a Health Canada licence to grow industrial hemp. There’s no cost for the licence, but it does require the gp S co-ordinates for each field and a criminal record check for each contract holder.

The typical first-time production contract is for 80 acres. g iven a reasonable growing season, that amount of crop will produce a semi-load or B-train full of product. Manitoba Harvest takes deliveries every month of the year.

“It’s a really great crop for people who want to try something different on their farm to add into their rotation,” says greaves. “It’s a growing crop and I see that market continuing to grow. I would expect that next year we are going to be looking at 100,000 acres plus, so it’s an exciting time in the hemp industry.”

Tom Greaves is driving the expansion of hemp production.
Hemp contracts for the 2013 growing season are going fast.

The Leader in Overlap Control

Auto Zone Command prevents costly input overlap by instantly stopping product flow in up to 10 metering zones. The more zones you control, the more money you will save. FLIP is SeedMaster’s patented mapping software that activates Auto Zone Command and halts product flow the first time openers pass through an overlap area. Product is then applied on the last pass, preventing double seed and fertilizer from being applied, and avoiding any seedbed disturbance. The Big Payback – Savings using a 10 zone, 80 ft. drill

1

4

prove N Woody bioma SS harve ST i Ng T ech Nologie S

Evaluating different options that are available for short-rotation, woody biomass harvesting.

When it comes to harvesting a short-rotation woody biomass crop, farmers already have a choice of several proven high-, medium- and low-cost equipment options. What is interesting about biomass harvesting, though, is that optimal harvesting of the crop takes place in winter, so it doesn’t conflict with normal agriculture cropping activities.

The Canadian Wood Fibre Centre (CWFC) and local partners recently conducted two equipment demonstrations in alberta and Manitoba.

In alberta, 40 participants had the opportunity to observe and evaluate three different harvesting technologies at a short-rotation woody fibre bioremediation plantation next to the Whitecourt waste treatment plant. organized by Martin Blank, CWFC wood fibre and bioremediation technician, the harvesting demonstration featured a Claas self-propelled, Jaguar 870 harvester equipped with the two-row, HS-2 willow harvesting head; a pulltype WB-55 BioBaler manufactured by Quebec’s anderson group

Co.; and the three-point-hitch mounted JF 192 single row willow harvester.

“We’re evaluating the different options that are available for short-rotation woody biomass harvesting and demonstrating them to potential users, practitioners and stakeholders,” says Derek Sidders, CWFC regional co-ordinator for the prairies.

“When looking at the whole supply chain, this demonstration shows that we can not only grow short-rotation woody crops, but we also have the technology to recover [the biomass].”

Differences in the technology

There were a number of differences among the three technologies demonstrated. The Claas harvester and JF 192 harvester both produce wood chips, but the BioBaler produces round, woody stem bales, similar in appearance to straw round bales. all, however,

ABOVE: This made-in-Canada option, the Bio-Baler, can harvest woody fibre both on plantations and in natural stands.

Photo

Vibrant roots fuel better performance.

Crops thrive with Cruiser Maxx® Vibrance™. When the Vigor Trigger ® effect meets Rooting Power ™, you get enhanced crop establishment from stronger, faster-growing plants, above and below the ground. It also protects your wheat and barley crops against a broad range of insects and diseases and delivers best-in-class Rhizoctonia control.

consider which technology best matches the scale of the area slated for harvesting.

Claas self-propelled, Jaguar 870 harvester

The Claas harvester is designed to work on commercial plantations only, and it both cuts and chips the wood fibre. It can harvest as much as one hectare per hour. It was also the most expensive technology demonstrated, so a fairly large-scale operation would be the most appropriate. It harvests two rows at a time, and requires an accompanying wagon to travel with the harvester to receive and transport the chips.

WB-55 BioBaler harvester

The BioBaler mulches the stems and produces a round bale similar in appearance to a hay bale that weighs between 300 and 400 kilograms wet. It requires a 180- to 220-horsepower tractor to power and pull the implement. It can be used on commercial plantations, or to harvest understorey or juvenile stems in natural forests. The bales can be stored on site and will naturally dry. The bales may require further pre-processing before the raw material can be used as feedstock. The BioBaler can harvest any plantation design.

at the Manitoba demonstration, 35 participants watched the WB-55 BioBaler harvest second-generation, short-rotation, concentrated woody biomass on a 60-hectare afforestation site on the outskirts of Winnipeg. o rganized by Manitoba Conservation and Tim Keddy, CWFC wood fibre development specialist, in co-operation with the landowners, peter and Irene de g raff, the harvesting demonstration profiled the harvest and baling of several clones of hybrid poplar and willow up to 12 centimetres in diameter. The recovered bales were used in an industrial wood boiler.

JF 192 single-row harvester

The JF 192 single-row harvester on its own is the less expensive option, but it also works at a slower pace. Manufactured in Brazil for harvesting sugarcane and corn, it has been adapted for harvesting and chipping willow, and is currently being used successfully to harvest woody fibre. It also requires a tractor for power and transportation, and must be accompanied by a chip wagon to receive and transport chips.

The results

In summary, the Claas 870 Jaguar Harvester with HS-2 head attachment is self-propelled and produces wood chips. It is a tworow harvester, requires an accompanying chip wagon, operates at 8-10 km/h, and works in commercial plantations. Claas has several operating units, particularly in europe.

showed no difficulty harvesting the four- to six-centimetre-thick willow and hybrid poplar stems they encountered during the demonstration.

When it comes to selecting the most appropriate harvesting option, Sidders says individuals need to consider what the most operationally appropriate and cost-effective technology is to provide the raw material for their desired end product, and

The anderson group WB-55 BioBaler produces 300- to 400-kilogram wet round bales. It is a pull-type implement that requires 180- to 220-horsepower tractor for movement and power. The bales are loaded and transported using standard agriculture round bale technology. It works in commercial plantations or natural forests, and there are 10 to 12 units operating worldwide.

The JF Maquinas 192 Harvester produces wood chips. It is a tractor-mounted (three-point-hitch) implement requiring a tractor for movement and power. a single-row harvester, it works in commercial plantations, and there are 10 units operating in europe.

Looking a lot like a standard combine, this Claas harvester works best on woody fibre plantations.
Adapted from the sugar cane industry, the woody fibre JF 192 harvester is among the cheapest options available at present.
Photo s by t ony

Topcon’s new AGI-4 is the industry’s first modular ISO compliant steering system in a single component. Allows the addition of Topcon’s industry-leading steering performance to virtually any steer-ready vehicle.

AGI-4 works with the displays of many other manufacturers to bring true Drop-in & Drive convenience.

i Ncrea Se your yield S oF irrigaT ed crop S

Early seeding and sufficient seeding rates key to optimizing yields of irrigated cereals and oilseeds.

The early bird gets the worm. although growers and researchers know that early spring seeding can help improve yields of a number of crops, the question of how early and how much can be difficult to assess. researchers at alberta a griculture and rural Development ( aar D) in Lethbridge conducted a four-year project at two locations to determine the optimum seeding date and rates for achieving high yields and quality in 11 irrigated grain and oilseed crops. The results will help growers optimize yields of irrigated crops.

The trials were conducted at aar D’s Lethbridge research Centre in the Dark Brown soil zone and at the Bow Island Substation in the Brown soil zone, from 2006 to 2009. “We selected 11 cereal and oilseed crops predominantly grown under irrigation in southern alberta and seeded on four different seeding dates,” says Dr. ross McKenzie, research scientist, agronomy, with aar D in Lethbridge. “We’ve known for years that if you

seed earlier you can usually do a little better, but if you seed later your yields are a bit lower. But we didn’t know how much, so this study was an opportunity to find out.”

In each year, the crops were seeded in the second or third week of april through to the end of May, usually 10 to 14 days apart, depending on weather conditions. The crops were also seeded at five different seeding rates. During the season, irrigation water management was kept at an optimum.

“The results of the four-year study confirmed that seeding earlier was a benefit, but I was surprised by how much,” says McKenzie. “The results clearly show that seeding date significantly affected the yield of all crops. although seeding in april usually didn’t show much variation, the yield potential significantly declined for every day after May 1 that seeding was delayed.”

ABOVE: When you have favourable early spring weather conditions in April, seed high-value cereal crops first.

Photos

The sooner they fall, the better it is. Traxos® takes out wild oats faster, so your crop can be its best. You set good things in motion when you flatten wild oats fast with Traxos. Most importantly, you set up your durum and spring wheat for a great harvest.

If weather delays seeding into May, seed the most valuable crops, such as canola, first.

Approximate crop yield decline for each day seeding date is delayed after May 1

For most cereal crops, seeding after May 1 can result in a 0.8 to 1.3 percent potential yield loss per day. Therefore, using an average of one percent translates into potential yield losses of 30 percent by seeding cereals on May 30 instead of May 1. Canola was even higher at 1.7 percent potential yield loss per day after May 1, while flax was the least at 0.6 percent per day. Crop quality deteriorated with delayed seeding for crops such as canola, malt barley and soft white spring wheat, but was unaffected or even slightly improved for other crops.

By seeding earlier in the spring, crops have access to more available solar radiation or sunlight while the days continue to get longer until the third week of June. “all of the cereal and oilseed crops we grow are cool season crops and by seeding earlier, the crops get better vegetative growth in May and June when days are longer and temperatures are cooler,” says McKenzie. “The earlier seeded crops generally start flowering in late June, before the hotter weather that typically comes in July.” For example, canola yields can be reduced considerably when temperatures are above 30 C during flowering.

Crops seeded earlier tend to use water more efficiently than those seeded later and are more competitive with weeds. e arlier-seeded crops are usually more advanced by the time most insect and disease problems begin to appear in early July, and are often better able to withstand the impacts versus laterseeded crops. For example, fungal foliar diseases such as leaf rusts tend to be less severe for early seeded crops.

Recommended plant population range for each crop in seeds/m2 and seeds/ft2. The seeding rate in lb/ac is the approximate seeding rate at the lowest and highest end of the recommended seeding range.

Optimum seeding range

Seeds/m2 Seeds/ft2 lb/ac

overall, seeding date had a bigger impact than seeding rate on crop yield or quality. However, crops such as triticale and soft white spring wheat required considerably higher seeding rates to achieve higher yields than some other cereals. “Sometimes all wheat varieties or all barley varieties are treated the same; however, they are not,” notes McKenzie. “For example, CpS, durum and soft white spring wheat all have higher yield potential, and by going to a higher seeding rate [growers] can make a significant difference in yield. With hard red spring wheat, on the other hand, the yield potential isn’t as high, and going to higher seeding rates doesn’t necessarily translate into higher yields. We suggest that most growers will want to use the middle to upper zone of seeding rate ranges to achieve optimum yields.”

Malt barley

Feed barley

Barley silage

Triticale grain

Triticale silage

CW red spring wheat

Soft white spring wheat

CPS wheat

Durum

Canola

180 - 250 17 - 24 85 - 130

200 - 350 19 - 33 100 - 195

300 - 450 28 - 42 150 - 250

250 - 350 24 - 33 115 - 175

400 - 500 37 - 47 175 - 250

200 - 300 19 - 28 80 - 125

300 - 450 28 - 42 115 - 190

250 - 400 24 - 37 110 - 185

275 - 425 26 - 40 125 - 205

175 - 275 16 - 26 6

Flax 500 47 45

source: oPtimum seeDing DAte AnD rAtes for irrigAteD grAin AnD oilseeD croPs, AArD.

When deciding the order for seeding crops, growers need to assess the economics, risk and timing. “In a year where seeding early is an option, growers should seed their highest value cereal crops with the highest yield potential first in april and then start seeding canola closer to May 1 to avoid the risk of frost,” says McKenzie. “However, if weather delays spring seeding until early May, then seed the most valuable crops first, such as canola, then wheat and then barley. If seeding is delayed, selecting early maturing cultivars may be beneficial. every spring will be a bit different, so try to seed the most valuable crops with the highest yield potential first, but keeping in mind crops like canola and the considerations for risk of frost.”

o verall, early seeding and sufficient seeding rates are two important agronomic strategies that may help growers achieve high crop yields under irrigation in southern alberta. researchers have been asked similar questions about optimum seeding rates, early seeding and yield loss potential under dryland conditions, and McKenzie would like to do more research in that area to be able to provide similar detail for those growers in the various soil and climatic areas across alberta.

AGRISTABILITY IS CHANGING

YOU’VE NEVER REALLY BEEN INSURED UNTIL NOW.

The insurance available today for most farmers just isn’t enough, especially now. Changes are coming to the 2013 AgriStability Program, and it means less coverage for you. But, thanks to Global Ag Risk Solutions (GARS), now there’s something better – Production Cost Insurance.

PRODUCTION COST INSURANCE.

It’s a private, revenue-based, risk management solution backed by a major, Canadian insurer, and it does what no other insurance can do.

Virtually every farmer out there is eligible for coverage with Global Ag Risk Solutions. Premiums have dropped making it a product for farmers everywhere, at all levelsa solution, created with you in mind.

Company on the move

HOW IT WORKS

THE PLAN IS SIMPLE.

> Your three major inputs – fertilizer, seed and chemicals –are covered, plus a specific amount of revenue per acre in excess of those inputs.

> If your planned input costs increase over the year, so does your coverage. There is no ceiling, and no effect on your premium. We want you to do what your farm needs, whenever it needs it.

> Payouts happen quickly, meaning if something happens, you won’t have to wait for your money.

> You can use this insurance as collateral with major banks, and borrow against it.

It’s a product for you, the everyday farmer, designed by experts who understand your industry. GARS is a Saskatchewan company, based in the heart of one of the country’s largest agriculture communities. They’ve seen firsthand how tough managing risk in today’s market can be, so they’ve designed a product with you, the farmer, in mind.

barley 180 proJ ec T See KS

To i Ncrea Se yield S

Field-scale trials are testing new options to ramp up barley yields.

Back in the 1990s, Westco Fertilizers tested various practices aimed at achieving 200 bushel/acre barley yields. In small plot trials in central alberta, the company got a top yield of 190 bu/ac. That’s pretty impressive, but are such yields practical and profitable on a field-scale level in alberta?

a team of agronomists and co-operators is hoping to answer that question through Barley 180.

This project involves side-by-side field-scale trials at various alberta locations. one part of each trial has the good management practices already being used by the co-operator. The other part has additional practices, including some that are not commonly used in dryland barley production on the prairies, such as plant growth regulators. Yield maps and geo-referenced locations for the differ-

Trait Stewardship Responsibilities Notice to Farmers

Monsanto Company is a member of Excellence Through Stewardship® (ETS). Monsanto products are commercialized in accordance with ETS Product Launch Stewardship Guidance, and in compliance with Monsanto’s Policy for Commercialization of Biotechnology-Derived Plant Products in Commodity Crops. This product has been approved for import into key export markets with functioning regulatory systems. Any crop or material produced from this product can only be exported to, or used, processed or sold in countries where all necessary regulatory approvals have been granted. It is a violation of national and international law to move material containing biotech traits across boundaries into nations where import is not permitted. Growers should talk to their grain handler or product purchaser to confirm their buying position for this product. Excellence Through Stewardship® is a registered trademark of Excellence Through Stewardship.

ALWAYS READ AND FOLLOW PESTICIDE LABEL DIRECTIONS. Roundup

Ready® crops contain genes that confer tolerance to glyphosate, the active ingredient in Roundup® brand agricultural herbicides. Roundup® brand agricultural herbicides will kill crops that are not tolerant to glyphosate. Genuity and Design®, Genuity Icons, Genuity®, Roundup Ready®, and Roundup® are trademarks of Monsanto Technology LLC. Used under license.

ent treatments are providing an easy way to collect data.

Barley 180 started as a pilot in 2011 with agronomists Steve Larocque of Beyond agronomy and Craig Shand of Farmers edge.

In 2012, Mike Hilhorst, another Farmers edge agronomist, joined in. Dr. Ty Faechner, executive director of the agricultural research and extension Council of alberta (areCa), is co-ordinating the project and pulling together all the results from the individual trials. Barley 180 is funded by the alberta Crop Industry Development Fund (aCIDF) and the alberta Barley Commission.

“We call it Barley 180 because ideally we’d like to hit 180 bushels/acre on a field-scale level, but some areas are just too dry to get to 180 bushels,” says Larocque. “So we’re focusing on how many bushels of barley we can produce for every inch of moisture we get. So maybe it’s ‘Barley 120’ if your area’s average yield is 65 bushels.”

It’s great to aim for that 180-bushel goal, “but the learnings about practices and management are what’s really key, so producers will be able to use the information to achieve a higher yield and be more profitable with it,” adds Faechner.

2011 trials

In 2011, Larocque had four sites and Shand had one (see table). Working with their co-operators, they tried various extra practices because they weren’t sure which ones might be most beneficial.

“Ultimately we want to find out which inputs offer the best rate of return,” notes Larocque. “But first we’re focusing on which inputs give the biggest yield increase, and then determining whether we need to focus on a whole package of inputs or perhaps just a couple of them. We do an economic analysis each year, but at the end of the project we’ll determine which ones provide the most consistent returns.”

Shand’s site, a quarter section near Crossfield in the Black soil zone, offers an example of what was done in 2011. an 80-acre portion of the quarter had higher-input treatments, but even the portion with the co-operator’s business-as-usual practices involved a substantial amount of management.

as a base treatment on the entire quarter, they applied 70 lb of nitrogen/ac as anhydrous ammonia in fall 2010. In spring 2011, they applied glyphosate at 1 L/ac plus express pro as a preseed burnoff for early weed removal of such volunteers as canola. Based on germination, vigour and 1000-kernel weight tests of the cooperator’s Xena feed barley, they used a seeding rate of 146 lb/ac for a target stand density of 25 plants/ft.2. The seed was treated with raxil WW. Based on soil testing, they applied a drill blend of

8-40-10-0 with the seed. assert FL and then axial were applied for in-crop weed control. The soil test results showed a copper deficiency so foliar copper was mixed with the axial. They applied preharvest glyphosate (1 L/ac) for harvest management and touch-up quackgrass control.

on the 80-acre portion, they increased the seeding rate to 163 lb/ac for a target density of 28 plants/ft.2 at late tillering, they applied top-dress liquid urea ammonium nitrate (Uan) using a sprayer equipped with stream bar nozzles. They used variable rates ranging from 0 to 45 lb/ac of nitrogen. The fungicide Stratego was applied at the flag leaf stage.

on 33 acres within the 80-acre portion, they applied ethrel, a plant growth regulator (pgr), at about three-quarters of the label rate, just prior to 10 percent awn emergence.

The purpose of the pgr is to shorten and stiffen the straw, so the crop won’t lodge under high nitrogen conditions. “ethrel has a very narrow window of application, and if you don’t apply it at the right crop growth stage, it could cause serious yield loss. However, if staged properly, it’s reasonably economical at about $11/ac at the three-quarter rate,” says Shand.

Top-dressed nitrogen is intended to boost yields, although opinions vary about the value of the practice. It can sometimes increase protein content in the grain, which could be a problem for malt barley. “Top-dressed nitrogen is a bit of a challenge if you want to do it on a significant amount of acres, particularly if you get some bad weather and time gets tight,” notes Shand. “When we’re top-dressing at tillering, guys also want to spray their canola, barley and wheat for weed control in that same window. However, it is

choose any of the spray tips in our extensive line to replace your non-teeJet nozzles.

Only TeeJet offers:

• The broadest selection in the industry – more types, sizes and materials than any other supplier

• Spray tips designed, manufactured and tested by us in the USA

Specialization in spray tips. Our focus is on spraying – and has been for more than 75 years

tAble courtesy of Dr. ty fAechner/ArecA.

ideal to top-dress Uan with stream bar nozzles in or just before a rain, which is obviously not recommended for most pesticide applications.”

The Crossfield site received 11.8 inches of rain from May 15 to Sept. 15, which is normal for the area. The business-as-usual portion turned out well: it yielded 133 bu/ac and had 10.7 percent protein. The high-input portion without the pgr yielded 146 bu/ac and had 11.7 percent protein. and the high-input portion with the pgr yielded 157 bu/ac and had 11 percent protein.

“on the high-input side where we didn’t use the pgr, we spent about an additional $58 in incremental costs and got an increased revenue of about $53, so we lost about $5. However where we applied both pgr and top-dress nitrogen, we actually made about $30/acre,” says Shand. “To me that was the eye opener: that neither of the extra inputs by itself was necessarily making money, but when we put both together we came out ahead.”

The co-operator also found that, even though the pgr-treated portion had much higher yields, it harvested about 1.5 miles/hour

faster than the high-input without pgr portion because of the shorter straw.

according to Shand, he and his co-operator were fairly skeptical at the start of the trial, “but achieving 157 bu/ac was a game changer for us. It really shifted our paradigm as to what is possible when you get the right conditions.”

at Larocque’s sites he and his co-operators tested a variety of extra inputs, for example, pgr applications, fungicide treatments and various nutrient treatments, split nitrogen applications, extra nitrogen, phosphorus, potassium, sulphur and micronutrient applications. The greatest yield benefits were from pgrs (about 10 bu/ac extra) and fungicides (about 7 to 10 bu/ac extra).

2012 trials

Based on the promising results from 2011, the project team continued Barley 180 in 2012. (They also started a similar project with wheat, which aCIDF is also funding.)

The 2012 trials were expanded to include eight co-operators

and nine sites, with locations in the Dark Brown, Black and Thin Black soil zones. Larocque had two feed barley and two malt sites, Shand had two feed sites, and Hilhorst had three feed sites. at each site, the agronomist and co-operator focused on just one or two extra inputs to keep things simple. at each of Hilhorst’s sites, the entire field was fertilized at seeding with the producer’s air drill, using variable rate technology with rates based on the soil tests. Then on the high-input portion, they applied ethrel and top-dressed with liquid nitrogen (28-0-0) at about the five- to six-leaf stage, after the herbicide application. Hilhorst notes, “We top-dressed with almost an extra 100 lb/ac of actual n. Some fields were close to 200 lb of actual n on the treated areas.”

at Shand’s two sites, the co-operators followed practices similar to those used at the Crossfield site in 2011, except in 2012 they applied the fungicide on the entire field and applied the pgr on part of the business-as-usual side, as well as on part of the high-input side. “I felt we were on the right track in 2011,” says Shand. “This

year, I wanted to get a better handle on the response to the topdress nitrogen and the plant growth regulator, to see if last year’s results were repeatable.”

The high-input treatments can have remarkable effects. Faechner describes one near Crossfield: “I’ve never seen a crop that thick; it was actually difficult to walk through it because it was so thick. and there were literally no weeds in it. on the portion where they hadn’t applied the plant growth regulator, the crop was completely lodged, and the part with the growth regulator was standing straight as an arrow. It was amazing.”

Larocque and his co-operators evaluated various high-input strategies for multiple fungicides, extra nutrients, and pgrs in 2012. For example, at one of the malt barley sites, they seeded aC Metcalfe treated with raxil WW at 160 lb/ac (30 plants/ft.2). In one pass at seeding, they applied 100 lb of nitrogen as anhydrous ammonia in a sideband, plus 70 lb as eSn (controlled release, polymer-coated urea) in the seed row. Then at post-emergent herbicide timing, they applied foliar copper (5% at 0.5 L/ac), foliar zinc (9%

Superior in-crop performance on a wide range of tough grass and broadleaf weeds starts with a simple foundation: SimplicityTM. Simplicity delivers exceptional weed control, Group 1 resistance management, flexible rates and tank mix options. For victory in the complex game of weed control. Elevate your performance. With Simplicity. BULK UP and save. Call our Solutions Center at 1.800.667.3852 or visit www.dowagro.ca.

and save Before march 20th.

at 0.5 L/ac) and a tank mix of the herbicides axial and prestige and the fungicide Tilt. at the beginning of stem elongation, they applied the pgr Cycocel extra at 10 gal/ac; application was a little late because they received the product at the last minute. Then at the late flag leaf stage, they applied the fungicide Twinline.

The purpose of using e S n was to delay the release of some of the nitrogen, so there would be less vegetative growth early on and more nitrogen available later to encourage higher yields. Larocque wanted to try Cycocel e xtra because it has more flexibility in timing: it can be applied between late tillering and

stem elongation, whereas e threl’s application window can be as short as one or two days in some years.

The Barley 180 team is now in the process of analyzing the 2012 results. Unfortunately, many of the sites encountered weather problems such as hail, dry conditions and high temperatures, so yields were down.

Both Hilhorst and Shand expect the results will show the extra nitrogen treatments on their sites didn’t pay in 2012. “We just didn’t have the rain we needed to crank out the extra bushels we fertilized for,” says Shand.

In contrast, they think the e threl treatments might turn out to have been economical. Hilhorst notes, “ pgr s can virtually eliminate lodging. a s well, in many cases, e threl shortened the barley by six to 10 inches, so there’s much less straw to put through the combine, making harvest more efficient – you go through it quicker, it’s easier to thresh, and so on.”

Hilhorst is seeing a lot of interest in the pgr results because it’s a fairly new practice for barley growers. “In our area, there is as much interest in the plant growth regulator as there is in applying tremendous amounts of nitrogen,” he says. “ not many of these plant growth regulator products are registered in Canada, so we don’t have a lot of access to them, although that may change down the road. e threl is pretty reasonable at about $10/ ac, or $15/ac if you go to a higher rate, but some other products are over $40/ac. The hope is that some of those products may come off-patent soon and then the price might decrease.”

Larocque has analyzed the results for the malt barley site described above. The yields were relatively low because of low

YaraVita® Impregnation Secure Optimal Micronutrient Delivery

A typical distribution pattern when using granular micronutrients

YaraVita® Coptrac, Zintrac and Mantrac when impregnated on your fertilizer, offer both agronomic and cost advantages. The impregnation process is done by your local fertilizer retailer which saves you valuable time during seeding. YaraVita® products are highly concentrated to ensure a sufficient micronutrient amount on every fertilizer granule resulting in even distribution across the field.

For more information on YaraVita® products, contact Yara Western Canada

www.yaracanada.ca

Call: 1-306-525-7624 / 1-800-667-7255

YaraVita® impregnated micronutrients using YaraVita® products Scan to learn more about YaraVita®

The high-yield treatment at heading at a site in the Crossfield area in 2012.

rainfall. The biggest yield benefit came from the pgr even though Cycocel e xtra’s effectiveness was reduced somewhat due to the late application, it still provided an eight to 12 bu/ac yield increase compared to the untreated check. It reduced lodging but didn’t shorten the straw as much as e threl.

Larocque has noticed another advantage of pgr s. “We’re getting a higher yield and a lower protein when we use the plant growth regulators, which is especially important when we’re aiming for malt barley.” However, he cautions, “The risk with pgr s is if there is an adverse weather event or if the crops are under stress, then pgr s can reduce yields by 20 or 30 percent in some cases. I’d need more research before I applied them to my regular agronomy programs.”

The e S n treatment provided a 5 to 6 bu/ac increase, but it boosted the protein by 2.5 percent, making the barley unsuitable for malting at 13 percent protein. “I don’t think e S n is a good strategy because you can’t control the release of the nitrogen,” says Larocque. “If you get a lot of heat and moisture early in the season, the nitrogen is released and you spent money for nothing.

“o verall, the economics of the trial required a 14 bu/ac increase over the check to break even. We got a 13 bu/ac increase,” he adds. “a big part of the cost was Cycocel at $46/ac; if we had used e threl, the cost would have been much less. and if we had replaced the e S n with anhydrous, the cost would have been even lower.”

Based on these results and the preliminary results from his other trials, Larocque says the two things that have been the most important so far are the fungicides, such as prosaro or Quilt, and the plant growth regulators.

Next steps

o nce the 2012 results are analyzed, the project team will consider possible plans for 2013. The three agronomists feel there is still more to be learned to really home in on what it takes to maximize barley yields.

“It’s a great opportunity to be part of this leading edge research,” says Hilhorst. “The yield mapping and other precision ag technologies enable us to do on-farm research at a large scale, which I think is much more relevant than any-

thing else.”

according to Shand, the project is beneficial because both the agronomists and co-operators are learning a lot, “plus we are getting to do this without taking on the risk because of the funding.” He notes the challenge for this to become large scale across clients’ entire farms or a portion of their farm is that it’s a very significant amount of risk given the additional dollars of inputs. “So we really have to hammer down which of these

best management practices are economical and are going to give us the biggest bang for our buck.”

Larocque adds he’s hoping they’ll be able to provide recommendations depending on a producer’s particular area, and advice on how to scale up the intensive management. “Using growth regulators, multiple fungicides and split applications of nitrogen may be great on 80 acres, but how do you do that on 5000 acres?”

PROVEN IN FIELD PEAS, FLAX, CHICKPEAS AND SUNFLOWERS

Excellent solution for control of kochia and other Group 2 resistant weeds

- New Group 14 mode of action for weed resistance management

- Early weed removal benefits of pre-emergent

- Controls flushing weeds

- Higher yield due to less competition

To learn more about the entire Authority® family of herbicides, visit FMCcrop.ca or talk with your retailer today!

m a K i Ng T he be ST i Nocula NT choice S

Inoculants are a good investment for optimizing yields of pulse crops.

Pulse crops are important in rotations across Western Canada. When properly inoculated, pulse crops can fix a large portion of their nitrogen requirements, and often extend those benefits to the next crop.

To maximize the benefits, selecting the right inoculant for the right crop, and proper handling and application, are important.

“a specific type of bacteria called Rhizobium bacteria works together symbiotically with the crop to produce nitrogen in the plant from surrounding air in the soil pore spaces in the soil rooting zone,” says Dale risula, provincial specialist, special crops, with the Saskatchewan Ministry of agriculture. “The bacteria will infect a root thread and begin to form a nodule in the root of the plant. The nodulation becomes apparent usually within three weeks after planting, and that is when the plant begins to start fixing n [nitrogen].”

The Rhizobium bacteria are not very mobile in the soil, so the inoculant has to come into contact with the developing seedling rootlets for infection and nodule development to take place. There are also specific species of Rhizobium bacteria required for different legume crops including pulses and forages, so selecting the right type for inoculating specific crops is important (see Table 1). Most commercial inoculants are either single strain for one specific crop, or dual or multi-strain that may be suitable for more than one crop. Check product labels before selecting a particular inoculant and follow application directions.

There are various types of inoculants available, each with different handling and application requirements. Inoculants are living organisms and must be treated with care. Factors like heat, sunlight and certain chemicals such as seed treatments and fertilizers can kill the bacteria, and storage conditions can also impact the life of inoculants.

peat-based powders are fine powders that contain a certain number of Rhizobium bacteria per gram and usually require the addition of a commercial sticker to stick the inoculant directly to the seed. These inoculants are usually dribbled or sprayed onto the surface of the seed after the seed is moistened, which can be done in a tub or cement mixer. There are also peat-based powders with pre-formulated stickers that can be applied directly to the seed while it is being augered or when the seed tank is being filled. Liquid-based inoculants are another option that can be applied directly to the seed.

A well-nodulated pea crop is the key to high yield.

“another inoculant type that is starting to be quite popular are granular based that can be metered directly into the furrow at seeding,” says risula. “The consideration is growers need to have a separate tank to meter the inoculant in order to apply it.” You also have to be careful not to mix the inoculant with granular fertilizer because if you do it will likely kill the inoculant. one other type is pre-inoculated seed, which usually comes encapsulated with a special coating.

Photo by b ruce bA rker.

Table 1. Rhizobium species required for legume crops

Pea, lentil, faba bean, chickling vetch

Chickpea

Dry bean

Rhizobium leguminosarum

Rhizobium ciceri

Rhizobium phaseoli

Soybean Bradyrhizobium japonicum

Alfalfa, sweet clover

Clover

Fenugreek

Rhizobium meliloti

Rhizobium trifolii

Rhizobium spp. Strain RGFU1

“research done on the performance of these different types of inoculants indicates they all work well, particularly under good conditions with good soil moisture,” says risula. “In some cases where soil conditions are dry, granular inoculants have shown better performance than others. granular inoculants tend to pro -

duce inoculation throughout the entire depth of the root, not just by the seed. We recommend that growers use inoculants every year at the recommended application rates. The cost of inoculants is inexpensive investment for ensuring optimum n fixation for maximizing yields.”

For most pulse crops, there is usually adequate n in the top six inches to allow the initial growth to take place until the crop starts to fix its own n, except for dry beans. “Dry beans tend to be a poor n fixer in comparison to other pulse crops, so a lot of growers will add a starter n application of about 50 lb. n / acre separate from the seed,” says risula. “However, this is not required for other pulse crops.”

For soybean crops, inoculants are very important, particularly in the first few years, since the bacteria are not typically found in soils in Western Canada. “The first question I ask growers is whether or not they are a new soybean grower,” says Dennis Lange, farm production advisor, crops with Manitoba a griculture, Food and rural Initiatives (M a F r I). “If they are

a new grower and are seeding soybeans on a field that has never had soybeans before, then they should really be applying a granular inoculant with a liquid inoculant. These two different forms infect the root differently through the growing season, making the combination much more important.”

The liquid inoculant goes on with the seed, and is much more beneficial early in the season. The granular goes on separately in a separate box on the seeder and tends to work a bit later in the season. “By applying the combination, you are giving yourself a bit more insurance, rather than putting everything on with the seed and hoping nothing goes wrong,” notes Lange. “This is especially important in a really wet spring where some of the seed-applied inoculant may wash away and reduce nodulation and n fixation.”

Lange adds that if growers don’t have access to granular inoculants, then a liquid and peat-based combination is a good alternative. “The type of inoculant is not as important as ensuring proper bacteria numbers, which is why the combination of liq -

uid and granular inoculants is really important,” he says. “There are also extenders available that various companies use to give you a longer seeding window in case the weather turns and you can’t get it all seeded at the ideal time. Ideally, soybeans should be seeded as soon as reasonably possible after inoculating. Most

Laboratory photos of nodules forming on the roots.
Photo courtesy of sA

Table 2: Yield and quality components of rescue applications of N

growers use the full rate of inoculants every year, because it is still cheap insurance when it comes to growing soybeans and other pulse crops.”

Although very rare, Lange did have a situation in 2011 where a new grower did not apply an inoculant because he assumed the treated seed was already inoculated. “The ques -

tion was whether or not a nitrogen application of 100 lb./ac could rescue the crop, so John Heard (soil fertility specialist, MAFRI), Joe Peters from KR Crop Check and I did a small replicated trial to see what the results would be,” says Lange. “The main purpose of inoculation is to provide the plant with N throughout the growing season. If you put all of the N on

AnOThER StellartM

at the beginning of the season, the soybean crop uses it for growth but may run out of N by the time it gets to the early pod filling stage or R3 stage.”

Most of the field was fertilized with 100 lb. N/ac following emergence, with three replicated small plots compared on an unfertilized portion of the field. The plots compared no N, 50 lb. and 100 lb. N/ac at flowering and at pod fill. “The soybean yield did not respond to early applied N, but yield increased 24 percent and 32 percent with late-applied nitrogen at 50 and 100 lb. N/ac, respectively,” says Lange.

Soybean plants use anywhere from 150 to 200 lb. N to produce a 35-bushel crop and the study shows it makes better use of the N for yield at pod fill stage rather than earlier in the season. “Applying fertilizer is a rescue treatment and not something we recommend growers do,” says Lange. “What is most important is making sure an inoculant is applied in the right form and making sure the bacteria numbers are high enough to ensure the plant has N throughout the growing season.”

Only StellarTM provides higher-performance annual broadleaf control in wheat, barley and oats. Cleavers, chickweed, hempnettle, kochia, more. Plus three active ingredients and two modes of action for superior Multi-Mode of Action resistance management. BULK UP and save. Elevate your performance. With Stellar. Call our Solutions Center at 1.800.667.3852 or visit www.dowagro.ca. and save Before march 20th.

Laboratory photos of nodules forming on the roots.
Photo courtesy of

Table 2: Yield and quality components of rescue applications of N

growers use the full rate of inoculants every year, because it is still cheap insurance when it comes to growing soybeans and other pulse crops.”

a lthough very rare, Lange did have a situation in 2011 where a new grower did not apply an inoculant because he assumed the treated seed was already inoculated. “The ques -

tion was whether or not a nitrogen application of 100 lb./ac could rescue the crop, so John Heard (soil fertility specialist, M a F r I), Joe peters from K r Crop Check and I did a small replicated trial to see what the results would be,” says Lange. “The main purpose of inoculation is to provide the plant with n throughout the growing season. If you put all of the n on

at the beginning of the season, the soybean crop uses it for growth but may run out of n by the time it gets to the early pod filling stage or r 3 stage.”

Most of the field was fertilized with 100 lb. n /ac following emergence, with three replicated small plots compared on an unfertilized portion of the field. The plots compared no n, 50 lb. and 100 lb. n /ac at flowering and at pod fill. “The soybean yield did not respond to early applied n, but yield increased 24 percent and 32 percent with late-applied nitrogen at 50 and 100 lb. n /ac, respectively,” says Lange.

Soybean plants use anywhere from 150 to 200 lb. n to produce a 35-bushel crop and the study shows it makes better use of the n for yield at pod fill stage rather than earlier in the season. “applying fertilizer is a rescue treatment and not something we recommend growers do,” says Lange. “What is most important is making sure an inoculant is applied in the right form and making sure the bacteria numbers are high enough to ensure the plant has n throughout the growing season.”

oc TTain

OcTTainTM sets a new standard with a higher level of broadleaf control in wheat and barley. Easy-to-use OcTTain provides control of 25 of the worst annual broadleaf weeds. Exceptional control of kochia and wild buckwheat. BULK UP and save. Elevate your performance. With OcTTain. Call our Solutions Center at 1.800.667.3852 or visit www.dowagro.ca.

and save Before march 20th.

Laboratory photos of nodules forming on the roots.
Photo

proT ec T bi NN ed grai N

F rom i NF e STaT ioNS

Aeration is a valuable tool in reducing pest infestations in grain bins.

The importance of aeration during a harvest when climatic conditions are hot and dry is not always considered, and this can result in overheating due to moisture migration. In this article, we will examine a common problem experienced during a hot and dry harvest when aeration is not utilized properly: insect, mite and mould infestation.

Both situations (overheating and infestations) can be avoided by the use of small amounts of air, typically 0.1 to 0.2 cfm/bu, moved through the grain mass to lower and control the internal bin temperature.

Insects, mites and moulds

Failing to protect grain from insect infestations may result in a loss of quality, a price that may be too high to pay considering the relatively low cost of prevention.

In the past, producers have relied on a wide assortment of chemical treatments including protectant dusts, insecticides, fumigation processes and control insect problems. However, with the use of modern aeration equipment we can control pests in a much more gentle and preventive program. Simply

Stored grain insects can be killed by reducing the internal grain temperature:

-5 C 12 weeks required to kill pests

-10 C 8 weeks required to kill pests

-15 C 4 weeks required to kill pests

-20 C 1 week required to kill pests

put, by controlling the temperature of the grain mass through the use of air we can inhibit the development of pest problems. The insects, mites, and mould that cause grain to start heating and lose quality are inactive at low temperatures. Insects become inactive and cease to lay eggs below 8 C (49 F), mites below 3 C (37 F), and moulds become inactive below -8 C (17 F).

Cool the grain

g enerally speaking, grain should be at a moisture content that is below the allowable for long-term storage. a s for temperature, grain could be above 20 C, so it needs to be cooled down as quickly as possible after being loaded into the bin. It is advisable to cool down the grain to a temperature below 15 C as soon as possible after placing it into the bin. This is because at 15 C the ability of insects to lay their eggs and develop begins to be reduced. If aeration fans are turned on immediately after the grain is harvested it is possible to have the internal temperature below 15 C in slightly less than two weeks. It is very important to note that grain that is not aerated can remain warm for months, allowing insects to survive the winter. The convection currents created by this warm air may promote condensation, sprouting (heating), and mould growth in grain that is not cooled immediately. These conditions are attractive to the development and growth of pests and will help sustain their existence.

The above-mentioned practices are aimed primarily at controlling the laying of eggs and the development of pests. More severe and cold temperatures need to be attained in the bin for total elimination (killing of the pest).

For further information, go to www.grainguardian.com.

ABOVE: The improper cooling of grain may allow insect, mite and mould infestations to develop.

Photo by b ruce bA rker.

At Case IH, we design equipment with a producer’s agronomic needs in mind. Our Quadtrac® technology, soil management and planting systems are designed to foster a better growing environment that maximizes yield potential. We’ve developed equipment that gets you in and out of the field effectively to make the most of short weather windows. And our deep understanding of agriculture helps producers when they need it most. Case IH agronomic design keeps producers ahead of today’s increasing demand. Will you be ready? For more information, go to caseih.com/agronomicdesign.

TWo N eW crop S

oFF er poT e NT ial

Both camelina and carinata respond to nitrogen and higher seeding rates.

Growers outside traditional canola growing areas in Saskatchewan and alberta are looking to two alternative industrial oilseed crop options. Camelina sativa (false flax) and Brassica carinata (ethiopian mustard) are proving to have a fit in some areas of the prairies. Camelina has potential for various products in the industrial oil market and the food market, whereas carinata is currently being developed primarily as a drop-in aviation fuel product.

“Camelina is adapted to just about anywhere on the prairies, including shorter growing season areas like the peace region,” says eric Johnson, weed biologist with agriculture and agri-Food Canada (aaFC) at the Scott research Farm in Saskatchewan. “Camelina can mature in 95 days, similar to polish canola, and seems to have some drought and frost tolerance. Carinata, which also shows drought and heat tolerance, requires a bit longer growing season and is targeted more to the Brown soil zone, including similar areas in the northern US. In 2012, about 10,000 acres of carinata were grown in Saskatchewan and alberta, and the acreage is expected to expand considerably.”

These crops were originally promoted as low-input crops that shouldn’t require much fertilizer. researchers at aaFC wanted to find out if that was the case and initiated a three-year study to determine the optimum nitrogen (n) requirements for camelina and carinata. They also looked at the optimal plant density and seeding rate for both crops. The n response studies were conducted over a few different environments and at different rates of n from 2008 to 2010. Trials were conducted in Saskatchewan at Scott, Melfort and Indian Head (camelina only) and Lethbridge, alberta. The trials were direct seeded into stubble using fertilizer rates ranging from 0 to 224 kg/ha (0 to 200 lb/ac).

“We had conducted some similar studies with hemp, which was also initially thought to not respond well to fertilizers,” says Johnson. “However, the trials showed that hemp did respond well to fertilizer

TOP: Camelina fertilizer trials at Indian Head, Saskatchewan, plot with 0 kg/ha of nitrogen applied.

INSET: Camelina fertilizer trials at Indian Head, Saskatchewan, plot with 75 kg/ha of nitrogen applied.

Photos courtesy of
ric Johnson, AA fc

and in fact was actually more responsive than canola. We wanted to find out whether this was the case for camelina and carinata, and to develop fertilizer recommendations for growers.”

research results showed that both crops definitely benefited from n applications, which are necessary to optimize yields. “We found that camelina had a yield response up to fertilizer rates of 95 to 115 kg/ha (85 to 102 lb/ac), with yields averaging 1900 to 2100 kg/ha (35 to 37 bus/acre),” says Johnson. “This is similar to previous work done on polish canola. Carinata showed a yield response to higher rates of fertilizer of 108 to 135 kg/ha (96 to 120 lb/ac), with yields averaging 1700 to 2200 kg/ha (30 to 39 bu/ac). From our results, we recommend

growers follow similar fertilizer recommendations for B. rapa, or polish canola, for camelina and B. napus, or argentine canola, for carinata for n requirements and other nutrients including phosphorus (p), potassium (K) and sulphur (S).”

The research also showed that both camelina and carinata reached maturity as many as seven days early at higher seeding rates. For camelina, the optimum plant density ranged between 114 and 172 plants per square metre, which translates to an optimum seeding rate of 5.5 to 7 kg/ha (5 to 6 lb/ac). For carinata, growers should target plant densities of 80 to 170 plants/m2, which translates to an optimum seeding rate of 8 to 16 kg/ha (7 to 14 lb/ac). Further research on optimum seeding rates for carinata is required in the target areas of production, which generally have a longer growing season. The seeding rate studies were conducted on the northerly fringe of production where the shortened maturity was very beneficial. This may not be as critical in the southern prairies given the area’s longer growing season.

“For seed oil concentration, both crops respond to higher n applications similar to canola,” notes Johnson. “as n application rate increases, the seed oil concentration goes down and the protein goes up. However, the higher yields from n applications result in higher overall oil yields per acre. The optimum fertilizer rate for yield is close to optimum seed oil yields as well, which is typical with most oilseed crops. Therefore, growers should follow similar fertilizer recommendations for polish canola for camelina, and argentine canola for carinata, to optimize seed and oil yields.”

Johnson adds that both crops appear to have some drought and heat tolerance, but research needs to confirm that.

Speed Tills.

The Joker RT Series from HoRScH

The unique design of the Joker allows you to accomplish light to aggressive tillage and excellent soil finishing. With depth management from 1"-5" and working widths of 23'-37', the RT Series gives you precise tillage at high speed.

The Joker gives you what vertical tillage can’t.

Unlike vertical tillage, the Joker is a true residue management system. That means it perfectly sizes residue and incorporates it into the soil for fast decomposition. The Joker also consolidates the soil and promotes faster warming. This helps manage moisture better and gets you planting faster.

• Manage heavy residue/stubble

• Fast seedbed preparation

• Pasture/hayland/CRP renovation

• Manure/Fertilizer incorporation

passion www.horsch.com

Camelina fertilizer trials at Indian Head, Saskatchewan, plot with 150 kg/ha of nitrogen applied.

SeeKiNg opTimum plaNT populaTioNS For SoybeaNS

Too little, too much or just right.

Finding the “goldilocks” moment depends on many variables. Seeding rates and optimum plant populations for soybeans are a factor of equipment, timing, soil temperature and weather conditions.

“There is always lots of discussion about what optimum row spacing and plant populations should be used for growing soybeans,” says Dennis Lange, farm production advisor, crops, with Manitoba agriculture, Food and rural Initiatives (MaFrI). “The typical seeding rate recommendation is 180,000 to 210,000 plants per acre, depending on the row spacing. For an eight-inch row spacing, 210,000 plants per acre is recommended, while a 22- or 30-inch row spacing should be 170,000 to 180,000 plants per acre.”

In 2010, a three-year study was initiated by the Manitoba pulse growers association (Mpga) to compare multiple seeding rates using different seeding implements with different row spacing in a full field-scale environment.

“one of the objectives was to determine if there were any significant yield differences between the different row spacings,” says Lange. “although overall there were little differences in yield, growers should still be cautious when reducing plant populations to try and save seed costs. [It] raises risks particularly if there are poor weather conditions or the potential for frost damage like we saw in 2012, increased weeds and diseases and other concerns. If you drop the plant populations too low, there will be limits to optimizing yield potential.”

Brent VanKoughnet of agri Skills Inc. of Carman, Manitoba, conducted the three-year study for Mpga. “In 2010, we compared eight-, 10- and 15-inch row spacings at three different seeding rates of low, medium and high, using a vacuum planter and two different air drills,” says VanKoughnet. “In the next two seasons we compared eight-, 15and 30-inch row spacings. In 2012, we also compared two different

Photos courtesy of Agri s kills nc.
TOP AND ABOVE: Soybeans seeded using eight-inch row spacing (top) and 30-inch row spacing (above).

varieties: pekko, a more upright architecture variety, and DK 2510, a bushier variety.”

overall, the planter provided the best placement and emergence results under a broader range of conditions over the three years. However, the differences did not always translate into yield differences. In 2010, seeding conditions were very poor and the planter had better results and higher yields than the air drills, but in 2011 and 2012 the yields were very similar.

“The planter performed better in some cases because the machine places all of the seeds in a single row, resulting in a single crack down the entire row in the field and every seed comes up in that crack,” says VanKoughnet. “every plant that survived was within five percent of each other in height, resulting in an even-maturing stand. In comparison, the air drills may have had good plant survival rates but still resulted in more variability and more distressed or less vigorous plants. This may be due to depth control, lumps and crusting, and/or surges in the air tube that can leave gaps in placement.” at mid-season, some plants were 50 percent of the height of the most mature ones, which can potentially create problems at harvest in areas where frost may be a problem.

The difference in optimum seeding rates has a lot to do with plant survivability, adds VanKoughnet. “overall with a planter, the study showed that using a seeding rate of 140,000 to 150,000 seeds per acre to end up with 125,000 plants that survive yielded as well as higher seeding rates. If conditions are poorer, then 150,000 to 160,000 seeds per acre may be required to achieve that final stand,” he notes. “of course, you can’t always predict what conditions will be. With an air drill and usually lower seed survivability, increasing the seeding rate by at least 25,000 seeds per acre is typically recommended.”

Seed size also matters, so be sure to calculate the appropriate rate. plant by seeds per acre not pounds per acre. growers may get away with lowering seeding rates, but that is only if 95 percent of the seeds survive. In a poorer year where only 65 percent of the plants survive and a very tight seeding rate was used, then yield losses can result.

In terms of row spacing, there was little difference between the narrow and wider row spacing in all trials, except in 2012 when the 30-inch spacing showed some disadvantages on the early maturing upright variety only. “We are still not sure what the reason was, but in the 30-inch row spacing with the more upright variety we did see a slight yield penalty,” says VanKoughnet. “The 30-inch rows in this variety matured about four or five days earlier than the narrower rows and potentially weren’t able to take advantage of the last rain we got at the

beginning of august. So we aren’t sure if it was because of the moisture timing or if it was because the 30-inch spacing took longer to fill in the rows and was subject to more heat and wind evaporation. This was not observed with the bushier variety.”

Timing of seeding is also critical and soybeans should be seeded into soils that are 10 C or warmer. as a general rule, the faster the seeds come out of the ground, the more uniform they are and the better they grow.

VanKoughnet also conducted another project in 2012 in which they compared five different seeding dates replicated seven times in the same field starting at the end of april and seeding for five weeks until the end of May. at the end of the season, the latest seeded crop yield was virtually the same as earliest one.

“That means that seeding early provided no premium, but did introduce some risk and it’s probably better to wait until the soil is warmer in mid-May, unless wet weather is forecast,” notes VanKoughnet. “However, waiting to the end of May is not recommended either, as that could be too late in some years and in marginal heat unit areas.”

The study also showed that the blacker the soil, the better, because where there was an early frost, the small plants were much more susceptible where there was trash in the rows. For growers direct seeding, heavy trash fields could make the crop much more vulnerable to frosts.

“Ultimately, whether you choose to use a planter or an air drill will depend on how big your farm is and what equipment you already have,” says VanKoughnet. “If you have a good air drill and grow maybe less than a half section of soybeans, consider just spending the extra money on higher seeding rates. However, if you are seeding more than a half section, then start thinking about a planter.”

There are some reasonably priced secondhand planters available, mostly 30-inch, which might give more flexibility. In 2011, with the short seeding window, some growers were relieved to be able to finish seeding canola and wheat at the same time they were seeding soybeans because they had both an air drill and a planter.

Van Koughnet is planning to continue the project another year, and hopes to be able to compare different air drills as well. “Some of the newer air drills with individual run depth control and on-row packing may be able to provide more precise placement similar to a planter, depending on conditions,” he says. “although so far we didn’t really see huge differences in yields, growers should be using recommended seeding rates to manage risk, which provides insurance in years where conditions are less than ideal and yields aren’t compromised by using too low seeding rates.”

2012 MPGA Soybean trials – comparison treatments and yields

NeW pea, le NT il a N d chic K pea developmeNTS

Improvements in agronomics, yield and weed control systems highlight the new pea, lentil and chickpea offerings.

New pea, lentil and chickpea varieties are under development and some are being introduced for the 2013 growing season. The following information on Crop Development Centre (CDC) varieties at the University of Saskatchewan comes from Dr. Bunyamin Tar’an, Dr. Bert Vandenberg and Dr. Tom Warkentin, pulse crop plant breeders. Varieties with “Mp ” and “po” designations are under development at agriculture and agri-Food Canada at Lacombe, alberta; information is provided by plant breeder Dr. D.J. Bing.

Yellow pea

Certified seed of CDC Treasure will be available in 2013. It has good yield compared to Cutlass at 105 percent in the south and 110 percent in the north, with good lodging resistance and early maturity.

Certified seed of CDC Centennial (large seed size) and CDC prosper (small seed size) will also be available in 2013.

Certified seed of CDC Hornet should become available in 2013 or 2014. It has good yield compared to Cutlass at 107 percent in both the southern and northern regions, with good lodging resistance and medium maturity.

Certified seed of CDC Saffron should become available in 2014 or 2015. It has good yield (when compared to Cutlass, 115 percent in both the southern and northern regions), and medium-large, smooth, round seeds.

Breeder seed of CDC amarillo (2462-30) was released for the first time in 2012. CDC amarillo had strong yield performance in Saskatchewan regional trials over the past two years with a mean yield when compared to Cutlass of 119 percent in the south and 131 percent in the north. CDC amarillo is relatively tall with one of the best lodging resistance ratings among pea varieties in Western Canada.

Mp1892 is a semi-leafless, high yielding and powdery mildew resistant yellow pea variety. In registration trials, Mp1892 yielded 12 percent and 18 percent higher than the check varieties CDC golden and Cutlass, respectively. Mp1892 had a lodging score of 3.5, significantly lower than the lodging score of the check varieties. It has very good seed shape and seed integrity. Mp1892 matured at approximately 103 days, one or two days later than the check varieties. Mp1892 is currently undergoing pedigree Seed

New pea varieties offer higher yield and improved disease resistance.

production and is licensed to Wagon Wheel Seed Corporation. Mp1899 is a semi-leafless, very high yielding and powdery mildew resistant yellow pea variety. In registration trials, Mp1899 yielded 18 percent and 26 percent higher than the check varieties CDC golden and Cutlass, respectively. Mp1899 had a lodging score of 3.6, significantly lower than the lodging score of the check varieties. The thousand seed weight of Mp1899 was approximately 259 grams, significantly larger than the seed size of

Photo by b ruce bA rker.

Western Barley Growers Association

The Way Forward

Well before the government changed the marketing structure for wheat and barley in Western Canada, the Western Barley Growers (WBGA) had begun an industry-wide study of what the optimal structure for the barley industry should be to make it successful. The Barley Sector Analysis report can be downloaded from the WBGA website at www.wbga.org. The report pointed to a number of things that needed to be done, some of which have been done or are in the process of being completed, including removal of the CWB monopoly and the establishment of a national barley council. This Council will coordinate the barley industry and bring all the participants together around one table, from farmers across Canada to end users and buyers to researchers and funding organizations and market development organizations. The Barley Council of Canada now has a Strategic Plan and Executive Director in place, which allows it to set up its first Board of Directors, firm up its funding model, and get to work shortly. It will not result in additional checkoff funding to operate, and it will be funded by the whole industry, not just farmers.

The report also pointed out the need for monitoring and mandatory reporting of some parts of the industry so that all participants could be on a level playing field and the system’s performance could be checked. Information not currently available to the public is:

• Export sales: In the US, all exporters are required to report all export sales and shipments when they occur. This information is accumulated and reported weekly. The Canadian system would benefit from the same type of reporting as all players would then be able to see what business has occurred and under what conditions.

• Price: Although street prices are readily available and ICE futures and other independent bodies report various prices (and will be expected to do more in the new market), reporting of export sales prices should be mandatory. Due to the commercially sensitive nature of price, these data could be collected by an independent body and used by the government to monitor the evolution of the market subsequent to the deregulation of the CWB.

A case could be made for similarly monitoring sales of imported grain as well. Information is power, and the more transparent the system is, the stronger it will be for all the players in it.

Further recommendations in the report included making credit insurance more easily available (the CGC is currently looking at this and FNA has established its own form of credit insurance as well but there needs to be something available to help finance foreign trade of grain) and establishing a Cash Clearing House. Back in 2009, the WBGA funded an extensive study that explored using a Clearing House for the trading of Western Canadian grain. Given the change in marketing, all the needs identified by that study are even more critical in an open market. Essentially what a Clearing House does is put the buyer and seller of grain on the same level playing field - it makes sure the seller has the grain tonnage and specs they say they have, and it makes sure the buyer has the money to pay for it. It would especially be helpful to both farmers and smaller grain companies, and its use would be voluntary. Grain brokers who deal primarily with feed grains are usually not licensed by the CG Commission, so producers have no protection at present

with most brokers. Given the recent financial problems of Newco Grain and now Cranston Grain, this Clearing House is something we have urged the government to help establish, just as we have urged them to ensure the reporting needs and credit insurance needs of the industry we identified in the report are addressed.

The theme of our upcoming Convention, to be held at the Deerfoot Inn and Casino in Calgary on February 13 - 15, 2013 is “New Environment - New Opportunities”, and it will cover many of the issues that are developing in both the new open market and due to other legislative changes the government has brought forward.

• New marketing tools are emerging, and Kevin Sullivan of Pangaea Global Risk Management will discuss producer payment security for domestic and export sales while John DePape of Farmers Advanced Risk Management Co. will introduce a Risk Management program and tool for farmers.

• New markets are emerging, and Tim Stonehouse of Munctons Malt will discuss Global market opportunities, while Larry Weber of Weber Commodities tackles the outlook for the North American market. Jim Beusekom of Marketplace Commodities will talk about Getting Grain into the U.S.

• Changes are being made to the Grain Commission, and both the CGC and Wade Sobkowich of the WGEA will discuss how they will affect farmers and the elevator system.

• Agrology and research are critical so Tim McAllister of the Lethbridge Research Station will talk about the work being done on barley feeding vs. corn, and Elston Solberg of Agri-Trend gives us some insight into what they see in the future.

• Land use and property rights are critical issues for all of us, and Andre Tremblay of the Alberta Land Institute is coming to go over these, especially in light of the debate over powerline and pipeline access and construction.

• FNA has been working through the fall to get their “ProjectN”, a producer fertilizer project, up and running, and Bob Friesen will inform us of the projects current status.

• Ian White will drop by to tell us how the new CWB is adapting and outline their new programs.

• New producer commissions and councils are coming into their own, and we will hear from representatives of the new Barley Council of Canada, the Alberta Wheat Commission, and the proposed Saskatchewan Barley Commission and Wheat Commission as well on how things are going and how this will affect farmers and the industry.

• We also hope to have representation from provincial and federal agriculture to let us know what changes are upcoming in 2013 and beyond.

All of these are important issues that farmers and the industry will need to be aware of to adapt to the fundamental changes we are seeing to our grain system, so I urge you to attend. Farmers are now much more in control of our industry, but information is power, and without it, we cannot steer the ship - we will only be passengers. Get onboard today - register by phone at 403-912-3998, on the website at www.wbga.org or by e-mail at wbga@wbga.org.

See you in Calgary!

MARK YOUR CALENDAR

WBGA 36th Annual Convention – February 13, 14 & 15, 2013, Calgary, AB @ the Deerfoot Inn & Casino

Agriculture Centre, 97 East Lake Ramp N.E., Airdrie, AB T4A 0C3 Website: www.wbga.org • E-mail: wbga@wbga.org

AIRDRIE OFFICE

PRESIDENT – Doug Robertson

Phone: (403) 912-3998 Phone: (403) 337-2077

the check varieties. Mp1899 matured at approximately 102 days, one to two days later than the check varieties. Mp1899 was more susceptible to fusarium wilt than the check varieties. It is currently undergoing pedigree Seed production and is licensed to Seednet Inc.

Mp1900 is a semi-leafless, high yielding and powdery mildew resistant yellow pea variety. In registration trials, Mp1900 yielded 10 percent and 18 percent higher than the check varieties CDC golden and Cutlass, respectively. Mp1900 had a lodging score of 3.3, significantly lower than the lodging score of the check varieties. The thousand seed weight of Mp1900 was approximately 222 grams, significantly larger than the seed size of the check varieties. Mp1900 matured at approximately 99 days, one to two days earlier than the check varieties. It is also at the pedigree Seed production stage, and is licensed to CanSeed Canada Ltd.

Green pea

CDC Tetris is an “espace type” variety with blocky seed shape that has specific demand in China for snack food markets. Certified seed of CDC Tetris will start to become available in 2013.

CDC pluto is a green pea variety with small, round seeds and good bleaching resistance. also, it has an intense green colour, which should fit well into rehydration and canning markets. Certified seed of CDC pluto should become available in 2014.

Breeder seed of CDC Limerick (2336-1) was released for the first time in 2012. CDC Limerick has had strong yield performance in Sas-

katchewan regional trials over the past two years with mean yield (when compared to Cutlass) of 108 percent in the south and 114 percent in the north. CDC Limerick has nice seed traits, but with a greater protein concentration than other green or yellow pea varieties. This may provide an advantage in fractionation markets.

Specialty pea

CDC Mosaic is a new maple pea variety, which is a similar seed type to CDC acer, but with improved lodging resistance. Certified seed of CDC Mosaic should come available in 2014.

Breeder seed of the dun pea variety CDC Dakota was first released in 2010. It has been one of the top yielders in the SK regional trial in 20102012. The dun type would typically be dehulled and sold in human consumption markets in India. Certified seed of CDC Dakota should become available in limited quantities in 2013.

p0609-08 is a semi-leafless, high yielding and powdery mildew resistant maple pea variety. In a replicated yield trial in 2011, p0609-08 yields were 28 percent higher than CDC acer, and six percent higher than Courier. p0609-08 had significantly better lodging resistance than CDC acer and Courier. The seed size of p0609-08 was larger than that of CDC acer, but smaller than the seed size of Courier. p0609-08 matured at approximately 100 days, the same as the check varieties. It is undergoing pedigree Seed production, and is licensed to Wagon Wheel Seed Corporation.

Kabuli chickpea

CDC Leader was released to Select growers in 2011. The average seed

INCREASE YOUR BANDWIDTH

Maximize your upload speeds with our wider belt. Batco’s new 2400 series with 23.5" belt width increases your handling capacity.

· 23.5" Belt

· Up to 14,000 bu/hr

weight of CDC Leader is around 390 to 400 grams per 1,000 seeds (nine- to 10-millimetre diameter). CDC Leader is an earlier maturing cultivar than CDC Frontier. It has fair resistance to ascochyta blight. CDC Leader so far had consistently high yield, comparable to CDC Frontier, on both Brown and Dark Brown soil zones.

CDC orion and CDC alma were released to select growers in 2010. CDC orion is a large seeded (10- to 11-millimetre-diameter) kabuli cultivar. CDC orion has a good adaptation on both Brown and Dark Brown soil zones of southern Saskatchewan and southeastern alberta. CDC orion is on the late side on maturity, similar to CDC Frontier.

CDC alma is a medium to large seed size (nine-millimetrediameter) kabuli, slightly larger than CDC Frontier. CDC alma has the higher end of fair rating for ascochyta blight, similar to CDC Luna. growers should monitor their fields diligently for disease and spray if necessary.

Desi chickpea

a limited amount of seed for a new desi cultivar, CDC 603-3, will be available to select growers in 2013. CDC 603-3 has a light tan seed coat colour, which is one of the desirable visual seed characteristics of desi. The long-term, five-year yield average of CDC 603-3 is 110 percent of the check cultivar (amit) on both Brown and Dark Brown Soil zones. The average seed size of CDC603-3 is 306 grams/1,000 seeds, with a long-term ascochyta score of 4.1. CDC 603-3 has a medium to late maturity range similar to CDC Vanguard.

Large green lentil

CDC g reenland is still the most widely grown large green lentil (about 50 percent of the acres). Its superior colour retention can result in premiums. The older large green varieties are pretty much gone. The imidazolinone-tolerant large greens like CDC Improve (20 percent) are gaining ground but not necessarily in areas where g roup 2 resistant weeds are now a problem –many are in the longtime lentil-growing regions south and west

of Saskatoon. CDC Impower is still in the ramping up stage (about five percent). all others have declined to five percent or below of large green acres. Breeder seed of CDC g reenstar (formerly known as 3339-3) will be available in the spring of 2013. The winter and summer increases were successful so there will be no shortage of seed. This line consistently outyields all other large green lentils and so far is rated at 105 percent of CDC Maxim. Head to head with all the other large greens, based on about 60 trials in total over the past four years, the variety has the potential for a minimum increase in yield of 10 percent. It has better anthracnose resistance ratings than all other large greens. The seed is larger than most other varieties, slightly smaller than CDC Improve.

Other greens and specialty lentils

CDC asterix is an up-and-coming extra-small green variety with seed about 20 percent smaller compared to CDC Viceroy. It is a conventional type with some possibility for specialized marketing in specific regions.

In 2013, The CDC plans to release breeder seed of the conventional French green variety CDC Marble in 2013 (yield is 119 percent of Maxim so far) and possibly 3592-13 small green (110 percent of Maxim). CDC Marble consistently outyields all other lentil lines regardless of market class and the CDC is using it to establish a new higher yielding genetic base for all market classes. all varieties are on track for conversion to imidazolinone tolerance.

Red lentil

new varieties like CDC Dazil (CL), CDC Imax (CL) and conventional varieties like CDC redcoat, CDC redcliff, CDC redbow and CDC rosebud are grown on a very limited scale right now because they were released after CDC Maxim. as growers try them out, local performance will determine which of these become more widely grown. The CDC recommends that growers pay attention to what performs well in their area. From previous experience, in a drier cycle, red lentil performance can shift to favour the longer-season varieties.

CDC Scarlet (small red) and CDC rosie (extra small), both conventional types, show some promise. all have high yield potential and good lodging tolerance. all promising conventional varieties are in the process of conversion to imidazolinone-tolerant varieties.

CDC Rosie
CDC Scarlet
CDC Maxim
CDC Asterix
CDC Marble 3592-13

Always read and follow label directions. INFERNO and the INFERNO DUO logo are trademarks of Arysta LifeScience North America, LLC. Arysta LifeScience and the Arysta LifeScience logo are registered trademarks of Arysta LifeScience Corporation. All other products mentioned herein are trademarks of their respective companies. ©2013 Arysta LifeScience North America, LLC. INF-002

Tough broadleaves and flushing grassy weeds have met their match. No burndown product is more ruthless against problem weeds in spring wheat than new INFERNO DUO. Two active ingredients working together with glyphosate get hard-to-kill weeds like dandelion, hawk’s beard, foxtail barley and Roundup Ready® canola, while giving you longer lasting residual control of grassy weeds like green foxtail and up to two weeks for wild oats. INFERNO DUO. It takes burndown to the next level.

TRUCK KING CHALLENGE

ne-ton pickup trucks are a small slice of the pickup truck segment – within the larger automotive segment. As such, you’d think the segment small enough to escape much scrutiny; certainly the lack of marketing publicity suggests that. Yet, the numbers are not as small as most would think.

According to DesRosiers Automotive Reports, the Honda Civic is the bestselling car in Canada at 42,412 units (YTD). However, the bestselling truck is the Ford F-series with 74,362 sales (YTD). Now, that encompasses all Ford pickups (and I’m not even adding Chevy or Ram, so that gives you a sense of how big the segment is), but around 30% of full-size pickup sales are in the Heavy Duty segment. One-ton duallys are a smaller slice again, but on a percentage basis they outsell high-end luxury and performance cars across the country, and that’s a group that gets no end of attention in the media.

From a Fleet perspective, real-world testing of the one-ton segment is very important. After all, these vehicles work for a living, and how well they work – not what colour they are – is what buying decisions are based on.

This year the Canadian Truck King Challenge decided to concentrate

on this segment; testing the Ford F350 head to head with the Chevy Silverado 3500 and the Ram 3500. Each of these was the Crew Cab, long box, 4WD, diesel-powered version equipped with a removable fifth-wheel hitch. Our testers were two 2012s (the Ram and the Ford) along with a 2013 Chevy. While we prefer to always compare same-year models, we conceded that the Ford is virtually unchanged for 2013. The Ram, though, will be substantially changed next year – but it is unavailable until the end of the first quarter of next year. So, we appreciate Ram being involved because while we were already aware of the planned changes for 2013 – namely, Cummins diesel updates, new chassis and new air suspension – having the 2012 really demonstrated not only the areas that were lacking but also how it compared to both the Ford and Chevy that were both new in 2011. In essence they have offered a truck doomed to lose – yet the fact the company is changing almost everything we could be critical of this year speaks to its competitiveness.

Testing this year was conducted in southwestern Ontario in and around London. The first day we ran the trucks empty from Toronto (200 kilometres (km)) to London, then we hitched them to three similar fifthwheel RV trailers. These weighed in at around 14,500 pounds (lb.) each. We then spent the day doing a 400

km tour with the judges (of which there were five) switching up every 80 km. Each judge, therefore, was able to spend at least an hour hauling with each truck – and sit as a passenger on two legs to evaluate the interior design, comfort and conveniences in each truck from a crew perspective.

It’s worth mentioning right here that this is the fifth time we have run the Canadian Truck King Challenge in the last six years – skipping only 2008 – when the industry was in crisis.

How we decide which trucks to test has to do with the normal life cycles of trucks. In this case the three HD pickups are the newest offerings from the manufacturers, with the Ford and Chevy being all-new in 2011 and the Ram being new in 2010. Curiously though, as mentioned earlier, the Ram will be coming to us as an almost-new 2013 in the early spring. Those who have been around for a while know this short three-year run is almost unheard of. Trucks typically have a generational life span of between five and seven years. Well, that’s what it has been historically, but moving forward I can see the market heating up. Competition is growing ever fiercer, in part because the buyers are demanding more and more capability. Payload and towing capability keep rising – engine output is growing - interior comforts and electronic conveniences are expanding.

Trust me – this is not the industry leading the market. This is the market (that’s you and me) demanding more from the builders. This statement is the indicator that the nature of the typical buyer of HD trucks is also changing. How so? Well, fleet buyers traditionally look for a fair saw-off between capability and price, as they buy in bulk. But small business (the one- to five-truck market), which is on the rise, is much more interested in capability and comfort – they still want a decent price, but are less likely to go for the cloth seats and rubber floors. And I think it’s also fair to say they do care how the truck looks .

What all this means from a testing point of view is that we as judges work to put ourselves in those shoes. This doesn’t even take into account that as much as 30% of this HD market is purchased by retired recreational-only haulers. They too have specific needs, which include having comfortable space for the grandkids.

So with all this in mind, we towed our fifth-wheel trailers through wind and rain (because it always rains during Truck King – just lucky I guess) on highways and byways. After a full day of towing, we put the trucks to bed. The following day was dedicated to payload. As with any test, we had to go with the lowest published weight, and this year that was the Ram at 4,600 lb. Roof Mart, an IKO company in London, loaded us up with pallets of singles, which weighed in at 4,480 lb. Each pallet was four feet wide, four feet high and five feet long. Watching the trucks drop under that weight was fascinating. We then set off on a 300 km loop, down to Lake Erie and back, where we once again cycled through the trucks as judges.

Judges’ Highlights

The 2013 Canadian Truck King Challenge took on the task of evaluating the three Detroit-designed one-ton pickup trucks from Ford, Chrysler and GM last month. This is the fifth year the challenge has been held; each year looking at a different segment in the truck market. Last year, for instance, we tested the five most popular half-tons – however, this year the HD segment (which has had the most recent updates) deserved scrutiny.

In the 2013 Canadian Truck King Challenge, the Ford and Chevy both handled the towing weight and payload weight well; however, the suspension on the Chevy was visually better, meaning it sat more level under load, it squatted less, and it felt better while driving.

Andy says:

ƒ 0-100 km acceleration, with trailer, was 21 seconds. Very quick – anything under 30 seconds is considered adequate when towing.

Jil says:

ƒ Like flat rear floor.

ƒ Big, easy-to-use vents.

ƒ Confident brakes.

ƒ With payload: squats the most of any truck. Rides fine, just looks bad.

Matt says:

ƒ Like the heated/cooled seats, and reverse camera.

ƒ While towing: the overall ride is smooth: acceleration is great and transmission shifts up and down smoothly.

ƒ With payload: the truck squats too much. The steering gets lighter.

Stephen says:

ƒ Middle console storage is poor; seats get hard over time.

Howard says:

ƒ Powerful engine; transmission shifts are sometimes harsh.

ƒ Good interior, best info screens; greatest amount of electronic info of the three.

Andy says:

ƒ 0-100 km acceleration time matches the Ford. However, fifth gear is a much taller ratio – yet stays in that gear even on grades.

Jil says:

ƒ Like the three-position heat seat –comfortable.

ƒ Nav system is easy to use.

ƒ Good mirrors.

ƒ Climate buttons are too small and fiddly – way too low.

ƒ Needs a dead man’s pedal.

Matt says:

ƒ Didn’t like the plastic bedliner – too slick and covers tie-downs.

Stephen says:

ƒ While towing: steering feedback is minimal; crosswind control good; take-off is effortless; hood design helps road positioning; brakes engage instantly, feel strong.

Howard says:

ƒ Seats are best part of cabin.

ƒ Quiet inside.

ƒ Power is ample; tranny is strong and very smooth.

Chevrolet Silverado 3500

Chrysler Ram 3500

Andy says:

ƒ 0-100 km acceleration was 28 seconds. Slowest of the three. However, tons of low-end torque.

Would climb moderate grades in sixth gear while the other two had to downshift.

ƒ Steering precision was better than Ford, but not as good as GM.

ƒ The Ram had the best interior –best thought out, attractive with very nice seats.

Jil says:

ƒ Only one with a 110V outlet.

ƒ Heavy steering when empty, better when loaded.

ƒ

Matt says:

ƒ Lots of storage; quiet cabin;

seating is comfortable; good space and legroom.

Stephen says:

ƒ Exhaust brake is effective, sounds good.

ƒ With payload: spongy suspension gives no confidence; lots of body roll; spring back from bumps is too aggressive.

Howard says:

ƒ Best interior of the three; best-looking design.

ƒ Engine has lots of torque, but is slow off the line with load.

There’s a lot that goes on behind the scenes when you use Raxil ® WW seed treatment, but all you’ll see is a beautiful, healthy cereal crop. Raxil WW with Stress Shield® is the complete protection package, combining the serious seed- and soil-borne disease protection of Raxil (including true loose smut and fusarium), with Stress Shield for increased plant health.

With Raxil WW you get stronger emergence, increased vigour and a healthier, higher yielding crop that’s better able to withstand seasonal stresses.

To learn more about what Raxil with Stress Shield can do for you, visit BayerCropScience.ca/Raxil

So, what were the conclusions?

Well, in short, we collectively came up with the following insights:

ƒ The Ford and Chevy were very close in all areas while the Ram just wasn’t in the same league this year.

ƒ The Ford and Chevy both handled the towing weight and payload weight well; however, the suspension on the Chevy was visually better, meaning it sat more level under load, it squatted less, and in general it felt better while driving. Also, Ford took hits for a light front-end under load and twitchy steering.

ƒ We had little or no criticism of the Chevy powertrain – the diesel is strong, smooth and the transmission flawless in its operation. Ford and Ram both registered minor concerns with their transmissions. Nothing serious (during our testing); however, there was noticeable roughness in operation.

ƒ As an empty truck, the Ram was loved best by everyone –interior-wise and design-wise. However, that love was lost once weight was added. Its suspension was spongy and it exhibited too much body roll. The Cummins engine, while very strong (torque), was slow in acceleration.

ƒ Where the Chevy excelled was in the work aspect of the Challenge. It towed well, handled payload best and exhibited the most confident driving characteristics. The interior, though, is old and dated and the dash controls small and awkward – this is Chevy’s shortfall right now.

ƒ While the Ford interior is superior, its higher score in that area wasn’t enough to eclipse the Chevy’s sterling work record.

Once all the numbers, driving opinions and fuel calculations were added up, the 2013 CHevy SIlveRAdo was named this year’s CANAdIAN TRUCK KING CHAlleNGe wINNeR.

Commercial grade steel trussing for unparalleled structural rigidity (standard on 84', 94' & 114' models)

You told us that your grain auger has to be one thing: reliable We listened – introducing the MKX with over 75 proven performance enhancements including: precision engineered auger flighting, commercial strength frame and trussing and easier-to-use hopper, guaranteeing unmatched dependability and serviceability. The MKX comes in 64' - 114' lengths, making it the highest capacity auger ever made by Westfield.

Extendable axles for stability.

Tapered 10 5" low profile swing hopper has left and right hand

flighting with a 6" one piece rubber extension to prevent grain splashing

Precision engineered flighting, designed for extended life and smooth, reliable operation

Heavy-duty A-frame undercarriage for stability and long lasting performance.

Tapered boot maintains maximum capacity when the auger is raised to its highest position

Need F or pho SphaT e i N a lberTa

Phosphorus is the second most limiting soil nutrient in crop production.

Optimizing crop production depends on providing adequate nutrients for crop growth. next to nitrogen (n), phosphorus (p) is the second most limiting soil nutrient in crop production across the prairies. Most prairie soils are relatively low in minerals that contain p, resulting in low plant-available p research shows that providing recommended fertilizer rates of p may improve crop uniformity and maturity, and optimize yields.

“generally for wheat, barley and canola, about 80 percent of soils across alberta will respond to phosphate fertilizer,” says Dr. ross McKenzie, research scientist, agronomy, with alberta agriculture and rural Development (aarD) in Lethbridge. “The response may not be dramatic, it may be only a few bushels. However, p is the second most deficient nutrient and therefore is the second most important fertilizer farmers should be looking at across the prairies after n.”

Soil testing using soil samples from the zero- to six-inch depth for p is important to determine the probability of a response from a fertilizer application. “The common soil testing method used in alberta is the modified Kelowna method and is the one that our p recommendations are based on,” says McKenzie.

g rowers in alberta should select labs that use the modified Kelowna method, and if the lab does not then they should select an alternative lab. In Saskatchewan and Manitoba, the common method used for soil test calibration has been the o lsen method. McKenzie notes it works fine although in his alberta research at 427 research sites it doesn’t correlate as well as the modified Kelowna method for predicting crop response to phosphate fertilizer.

“Most of our research work has shown that seed-placed p gives the best response because it is close to the seed,” notes McKenzie. “p is very immobile, so placing it close to the seed allows the plants to start taking up p very quickly after germination. The seed-placed p fertilizer can sometimes stimulate early crop growth and this is referred to as a “starter” or “pop-up” effect.”

Soil p is less available to plants when soil temperatures are cooler and plant roots also grow more slowly in cool soils. With many prairie farmers direct seeding their crops earlier into cool soils, McKenzie strongly suggests placing p fertilizer as close to the seed as possible to ensure plant access to p. When p fertilizer is

P fertilizer response at a variable-rate fertilizer research site on an upper slope position. Treatment on the left had 60 kg N/ha with no P fertilizer and treatment on the right had 60 kg N/ha and 25 kg P2O5/ha. Note the only visual difference is a somewhat stunted wheat growth on the treatment without P fertilizer.

placed farther away from the seed, crop growth could be delayed due to a time delay for roots to explore and find banded p fertilizer. plants take up much of their total p required earlier in the growing season.

Cereal crops, for example, will take up about 75 percent of their p requirements within 40 days after crop emergence. However,

Photo courtesy of Dr. r m c k enzie, AA r D.

7000 SERIES AIR SEEDERS

The optional 40 Bu Saddle Tank provides you convenience and flexibility when incorporating bagged products. The new pallet storage platform is a handy location right next to the saddle tank for storage of up to 2500 lb of bagged product.

Bourgault has updated its highly successful 6700 air seeder incorporating advanced 7000 series design elements that increase capability, efficiency and convenience.

The patented KNEX integral tank system on the 7000 series provides unprecedented flexibility with 4 main product tanks and a FLEX bin which can be diverted into the 1st or 2nd tank.

Bourgault’s newest metering cast auger design, the PDM Pro, provides the same high degree of metering accuracy and gentle seed handling as found with the PDM Plus, but, the added poly liner improves performance with troublesome products that tend to stick as well as increases durability.

Once again, Bourgault’s partnership with Topcon Precision Agriculture has developed the most flexible and accurate seed controller on the market today. Features of the new X30 Seeder Controller include:

 A large 12.1" screen, one of the largest screens available!

 Variable rate control for up to 6 products including NH3 or liquid fertilizer;

 Bourgault specific factory loaded seeder profiles for initial setup;

 Automatic on/off control based on coverage map;

 New controller features including Headland Manager, VR Wizard, Inventory Manager, Job Export, & Tank Optimizer simplify the work of setting up the X30 controller and gets you working in the field sooner.

The stand-alone camera system and a 7" LCD display allows you to monitor product levels in each tank compartment, and a rear view camera to watch for approaching vehicles when transporting from field to field.

Contact your local Bourgault dealer for more information, or visit our website at: www.bourgault.com

SADDLE TANK OPTION
PDM PRO METERING
KNEX TANK SYSTEM
CAMERA SYSTEM
X30 SEEDER CONTROLLER

with seed-placed p, safe limits must always be observed.

The upper limit of seed-placed p for crops such as flax, mustard and canola is 15 lb/ac of actual p with a 10 percent seedbed utilization (SBU); for peas the upper limit is 25 to 30 pounds per acre; and for cereal crops it is 45 to 50 pounds per acre of p2o5 rates. phosphorus requirements for optimum yields vary with different crops (see Table 1).

Seed-placed p is the most effective application method to ensure plants have immediate access to the nutrients. However, for crops sensitive to seed-placed p, or when amounts above safe seedplaced limits are required, side banding is the most effective placement option.

“Banding p with n in the fall or early spring is another option,” says McKenzie. “growers have to be careful when banding p with n together just before or at the time of seeding, because n is mobile and will radiate out from the fertilizer band. If a high rate of n is applied, the plant roots may not grow into the band to take in p efficiently due to the higher concentration of n and the fact that p is not mobile and will not radiate out from the fertilizer band similar to n as it converts to nitrate-n.”

This can be a particular problem in some years on very low p soils and when soil temperatures are low following seeding, making the

Table 1. Approximate range of phosphate requirements of wheat, barley, canola and pea

Wheat

2,690

1,960 kg/ha (35 bu/ac)

3,360 kg/ha (50 bu/ac)

source: AgDex 542-3.

36-44 50-61 33-40 46-57

34-41 41-50 31-38 38-46

2. Phosphate fertilizer recommendations for spring

“starter” effect of p placed with or near the seed important. Splitting the application and seed-placing a portion of the p at 10 to 15 lb/ac p2o5, then banding the remainder, can be an effective option. ensuring adequate p is important, and can be even more so with certain crops in rotation. “almost always, you will see a better response to p on wheat after canola than with wheat after wheat or wheat after peas,” says McKenzie. “as a general rule, canola is very aggressive at taking up soil p and there tends to be less plantavailable p after a canola crop than would be in the same field after you grow wheat. Therefore, if you are growing wheat after canola, putting on an extra 10 to 15 pounds per acre of p2o5 may be a good idea even if the soil test looks adequate.”

Visually identifying p deficiency can be difficult and must be confirmed using soil tests and possibly with the aid of plant tissue analysis. “In our research plots comparing crops with and without p fertilizer, the plants without p look very similar in colour and appearance but slightly stunted in comparison,” notes McKenzie. “In severe cases of p deficiency, symptoms include characteristic stunting, purpling or browning, appearing first on the lower leaves and base of the stem and working upward on the plant, particularly on cereal crops. The effect is first evident on leaf tips, and then progresses toward the base. eventually, the leaf tip dies. However, this is an extreme effect and would rarely be observed in farmer fields under good management.”

For optimum crop production, ensuring an adequate supply of p close to the seed during the first six weeks of growth and an adequate amount of p in the soil for the rest of the season is ideal. Because p is very important for early plant growth and timely maturity of crops, growers are encouraged to apply a maintenance application of p even when soil test levels are adequate (see Table 2).

“even if soil test results using the modified Kelowna method are 60 to 80 pounds per acre and a yield response may be minimal, we still suggest a maintenance application to replace what the crop removes,” says McKenzie. “ensuring adequate p will result in good uniform maturity, which improves harvestability and can help reduce the risk of early fall frost damage, particularly in shorter season areas.”

Table
wheat on a medium to fine textured soil with a neutral pH, based on the Kelowna soil test method. Recommendations are given for each soil zone at three soil moisture condition levels at the time of seeding.
Soil test P (lb/ac)
Brown Dark Brown Thin Black

So, you thinkprettyyou’refast.

The Grainvac 7500 HP is up to any challenge. When it’s time to move huge volumes of grain, nothing out-hustles the GrainVac 7500 HP. Brandt’s breakthrough technology delivers high capacity and high efficiency – with lower horsepower requirements and low-cost, easy maintenance. So if you’ve got a need for speed, see the GrainVac 7500 HP at your local Brandt dealer. That’s powerful value, delivered.

$500 Thanksa Billion! Visit thanksabillion.ca for

and

For product

and a dealer near

call 1-866-4BRANDT or visit www.brandt.ca Rebate on GrainVac 5200EX or 7500HP Some restrictions apply. Offer valid until March 31, 2013.

NeW g roup 14 produc T F or S oybea N

Valtera is a new-to-Canada pre-emergence residual herbicide using Group 14 chemistry.

Starbuck, Manitoba, soybean grower Mark Morse needed more help with weed control.

Morse manages 2500 acres with heavy clay-loam soil in the northern red river valley. His major crops are soybeans and winter wheat, but he also grows a bit of corn, oats and canola.

He’s one of a small percentage in Manitoba who grow non-gMo soybeans. “If you grow a non-gMo bean, you need all the tools you can get to have your fields as clean as possible,” says Morse. “I have all the traditional weeds – volunteer canola, mustard, buckwheat, lady’s-thumb and other weeds. I have odyssey and Viper to spray on the non-gMo beans, but I needed more help.”

Morse got a sample jug of a new product, Valtera, in 2010. He used more in 2011, when Valtera was registered, and used it on every acre that he could in 2012. “I seed my beans, then I tank mix Valtera with my glyphosate and put it on before the beans come up,” he says. “It doesn’t need to be incorporated, and it gives me 30-50 days of control of broadleaf weeds. The glyphosate burns everything off the top. The Valtera takes care of not only the broadleaf weeds such as pigweed, nightshade,

lamb’s-quarters and common ragweed on the label, but others as well as volunteer canola.”

Volunteer canola control in non-gMo soybeans was the biggest selling point, according to Morse. “I don’t really have any volunteer canola now,” he says. “I have a few crops that, driving by, you’d think must be gMo soybeans because of how clean they are. That’s very pleasing.”

Valtera was developed by Japanese firm Sumitomo Chemical Company Ltd. Soybean growers in South america began using it in the 1980s. It became available for US soybean growers about 12 years ago. In March 2011, nufarm agriculture became the Canadian sales agent for

TOP: The yellow foxtail is the Valtera check in the front; the back is the Valtera treatment at 40 ac/jug, applied three days after the Roundup Ready soybeans have been seeded. The entire field had been sprayed with a half-litre of glyphosate, three to four days before the picture was taken.

INSET: A field of soybeans that had tribenuron burnoff sprayed to take out volunteer canola, then beans seeded. Within three days of seeding, Valtera sprayed at the 40 ac/jug rate. Glyphosate was applied in crop, in one pass.

Photo courtesy of m yles r obinson.
Photo courtesy of k yle f oster.

Valtera herbicide.

The active ingredient is flumioxazin, a group 14 product that controls group 2, group 5 and glyphosate-resistant weeds. It can be applied alone or mixed into a tank with a burnoff chemical.

Currently, Valtera is registered for control of eastern black nightshade, lamb’s-quarters, pigweeds and seedling dandelion in roundup ready and Ip soybeans in Canada.

“We’re very happy with the first-year launch,” says Myles robinson, provincial sales manager with nufarm. “Valtera is not going to get rid of every volunteer canola plant on your field, but it will certainly get rid of a very high percentage. It isn’t on our label, but we saw some really good activity on all types of volunteer canola this summer.

“The U.S. label lists a lot more weeds, including kochia and volunteer canola. We are going to try to add some of those weeds to our label in Canada,” he adds. “It’s fair to assume that if it controls kochia in north Dakota, then it will probably do the same thing here.”

early season control of broadleaf weeds is the most important benefit, according to robinson. Valtera can be applied 14 to 30 days before planting soybeans, if seeding is done using a low-disturbance opener. or, it can be applied within three days after seeding if the user has a high-disturbance opener on his seeding tool.

Valtera will stay on the surface and remain inactive until it is activated by rainfall. It requires about a quarter-inch of rain, or one good shower, if it is directly on the soil surface. If it is on heavy trash cover, it may require a half-inch of rain to wash it off the trash and into the soil. once it is active, it controls emerging weeds for four to seven weeks.

Valtera can be mixed in the tank with a burn-off product such as glyphosate for one-pass burnoff and residual weed control. robinson expects many growers will take that option.

Valtera’s activity in the early growing season also reduces pressure for in-crop treatments with glyphosate on rr soybeans. “You’re not rushing to put a glyphosate application on and making ruts because you have to get out there today,” says robinson. “That’s a bit of time management optimization.”

It also doesn’t have any re-cropping restrictions. “We’re looking at about $13.25 an acre at our 40-acre rate,” says robinson. “as a cost per day for weed control – you get up to 50 days of residual weed control – it’s very cost-effective.”

SmarT phoN e S a N d

T W i TT er ca N help you Farm

Farmers are taking advantage of new communication technologies.

The boys and their toys are changing down on the farm, for good reason, according to ontario dairy farmer and social media consultant andrew Campbell.

When they were coming on the market a decade ago, a lot of farmers thought they’d never need cellphones. now, some can’t be found without the cellphone or its successor, the smartphone. This year, Cambell thinks it’s likely that Twitter on the farm will be even hotter.

The smartphone was new two years ago, and “almost nobody” had it when Campbell asked who was using it a few years ago. “Most were thinking, I have zero use for this. It’s another expensive piece of technology that I don’t need,” he says.

During Manitoba ag Days in Brandon this past January, about a third of the audience raised their hands to the question. “at least a third of farmers have smartphones today and that’s expected to be half by the end of 2012,” adds Campbell. “at meetings already, at least half have smartphones now.”

Smartphone benefits for farming have ramped up very fast. The first BlackBerry units offered e-mail with a cellular phone. now, it’s much more – and there are three major “platforms” competing for the market. The three platforms do very similar things, but they don’t necessarily work together very well.

The platforms are BlackBerry, iphone and android. The android smartphone is generic in that it is open for companies to develop their own versions. It includes makers like Samsung, Motorola and HTC. BlackBerry was first, and has more users in the farm market, but that’s also changing.

any one of these features can more than pay for the investment: instant weather updates; live market prices for grains; instant ability for video and photography; gpS mapping services; ability to download information from the Internet; ability to upload information with e-mail.

“You have a full keyboard now to be sending messages to partners and employees,” says Campbell. “You can pull up the price of grain on your phone in the middle of the day, and probably pay for that device for the entire year. now you carry an HD video camera in your pocket; it’s almost unbelievable what you can do with this. That’s why this has come so quickly. Before long, every farmer will have one.”

Like an equipment dealer, the service provider is more important than the phone. Before buying one, be sure the phone will

have service where you need it. High-speed cellular service is expanding as fast as the smartphone market, but it isn’t everywhere for every company and every phone.

Campbell describes the smartphone as an electronic farming tool, like a knife, pliers or a wrench. It’s important, highly useful and replaceable. “They don’t last long; they become outdated, mine don’t live that long,” he says. “When you get a smartphone, assume that in two or three years you’re going to change it. Service providers subsidize that phone pretty heavily so, if you break a contract after they

Photo courtesy of Jessic
Andrew Campbell has over 4000 Twitter followers.

give you a $400 phone, the most you stand to lose probably is $400.” one good thing to do before signing a contract is to consult with any partners, family or friends involved in the farming operation. It’s easier to share information if the group is using one type of platform. as dairy farmers, Campbell and his three partners decided to use an android platform. It was a tough decision. For them, the right choice turned out to be android when they heard about a dairy application that was being released for the android platform.

“I wish there was an applications store for farming,” he says. “Industry has been blindsided by the rate of adoption, to this point. I think the next big step will be in applications that farmers are going to use every single day to run their farms.”

Twittered

among the major social networking platforms, Campbell discusses Twitter, Facebook and YouTube. all three can be a source of information and a way to share, or upload, information.

YouTube is the home for video, including video that is directly useful for farming. For the skeptic, he suggests trying a couple of searches on YouTube.

“Type ‘how to…’ and then whatever you have a problem with. You’d be amazed by the results that come up,” says Campbell. “I’ve seen a lot of videos from equipment dealers, showing how to fix a piece of equipment, or set it up, or doing a demo. You don’t need to fly to georgia to see something you may want for the farm.”

YouTube is a two-way street in that if you have HD video on a smartphone, it also can be uploaded easily to YouTube to share with others. “post your video so other producers can see the pros

and cons of that piece of equipment. You can help other producers make more informed decisions. Videos have a pretty important role to play in farming.”

Facebook is less useful but can be very helpful as a tool for farmers who are trying to connect with consumers. It’s estimated that half of the 800 million Facebook members check in every day. “If you’re trying to sell to consumers, or just want to raise awareness about your product or about an issue, Facebook is a critical tool today,” notes Campbell.

However, Facebook can also be overwhelming by providing too much information, and too much advertising. probably it’s less effective for a farm business than either YouTube or Twitter.

The power of Twitter is that messages are limited to 140 characters, making them too short for advertising. It’s easy to scroll through dozens of new messages in a couple minutes, getting quick updates on anything from train wrecks to rain that’s falling a few miles west. often, the messages contain a link to more information.

Campbell once posted a question, asking for experience about using bagged silage. “I got dozens of responses about things to keep in mind,” he says. “They were very positive, but a couple said it’s critical to put it on a cement foundation and critical to check it every couple weeks to tape over any holes you find. So now if we do go that route, we’ll be about two years ahead on the learning curve.”

It takes about two minutes to set up a Twitter account, by going to www.twitter.com. You enter a user name, personal name and e-mail address. after that, the new member decides which other members’ tweets to follow, and Twitter helps with that by making suggestions.

By 2050, there will be 9,000,000,000 hungry people and less farmland than there’s ever been. On August 19–25, 2013, the world’s youth will gather at the global 4-H Youth Ag-Summit to advance solutions to this growing crisis of agricultural sustainability. If you’re 18–25, you should send us your thoughts. We might just send you to Calgary, Canada (expenses paid) to share them with 120 other bright young minds and industry leaders. Come to the table. Your perspective could change the course of history. Apply now at youthagsummit.com.

aNoT her ST ep F orWard F or F ood barley

Health Canada’s approval of barley fibre’s health benefit could spark consumer interest.

Barley fibre helps lower cholesterol. That health claim, approved by Health Canada in 2012, is good news for Canadians, since about 40 percent of adults between the ages of 20 and 79 have unhealthy cholesterol levels. and, if the health claim inspires consumers to demand food barley, then it will also be good news for food barley growers and processors.

Scientifically valid health benefit

although the health benefits of various foods are often talked about, to have a health claim officially approved by an agency like Health Canada is a rigorous, science-based process.

Development of the barley health claim was led by Dr. nancy ames, a food scientist with agriculture and agri-Food Canada (aaFC), with input from many stakeholders. She started working on barley as a healthful food about 15 years ago, using some of the varieties that were being developed by the Crop Development Centre (CDC) at the University of Saskatchewan and aaFC at the Brandon research Centre. over the next decade, ames and her lab analyzed the food properties of different barley varieties, and created a wide range of tasty products, where barley enhanced the product’s nutrition and function for parameters such as dough performance and baking performance.

But food companies and consumers still weren’t very interested in food barley. ames thought a health claim might help spark their interest. She had provided some information for a barley health claim in the United States, which was approved in 2006. That claim was based on the benefits of beta-glucan, a type of soluble fibre, in lowering cholesterol. Several other countries had also approved similar health claims.

So in 2007, ames invited a large group of barley stakeholders, including breeders, growers, processors, food scientists, nutritionists and others, to discuss the idea of a Canadian barley health claim. although there were studies indicating various other health benefits from barley, the scientifically strongest information was for the role of barley beta-glucan in lowering cholesterol. all the stakeholders supported the idea, and ames and her lab began the detailed process of preparing a health claim.

“We reviewed the articles systematically to select those studies that would give the most scientifically valid information and that met Health Canada’s criteria,” says ames. “For example, Health

Canada would only consider human trials, not animal trials, and the trials had to involve enough participants, and to measure betaglucan in the proper way – all of those types of details. Then we did a statistical analysis of the studies that met the criteria.” In addition, she obtained input from nutritionists and chemists on some of the information coming out of the analysis.

The submission also identified some gaps in the scientific information. “That’s very important because as objective scientists, we want to make sure we find the truth,” notes ames. So even after the

Photo
AAFC’s Dr. Nancy Ames with barley tortillas.

claim was submitted, she continued to do research to fill those gaps.

The alberta Barley Commission, as a representative of the barley industry, submitted the health claim to Health Canada in February 2009. In July 2012, Health Canada approved it. according to Health Canada, consumption of at least three grams of barley beta-glucan per day helps reduce cholesterol, which is a risk factor for heart disease.

Diversity in varieties

High beta-glucan barley varieties suited to western Canadian conditions have been developed thanks to breeders like Dr. Brian rossnagel, professor emeritus at the University of Saskatchewan and a distinguished barley and oat breeder.

Both barley and oats contain beta-glucan, whereas wheat contains almost none, and corn and rice have none at all. In oats, betaglucan is found mainly in the grain’s outer portion, but in barley it is distributed uniformly through the grain, so processors can use various portions of the kernel and still have a high amount of betaglucan in their product.

rossnagel saw the potential importance of barley beta-glucan not long after he started at the CDC. “In the early 1980s, the [health] information about the beta-glucan in oats was becoming dominant in the research community,” he notes. “From our work to lower beta-glucan in hulless barley for feed purposes, I knew that we could also raise the beta-glucan in barley even more easily than in oats.”

So the CDC set to work developing hulless food barleys with higher beta-glucan levels. (Hulless types are more convenient for food uses because hulled types require hull removal during processing.)

The CDC has released five high beta-glucan varieties so far. Current varieties include CDC Fibar, CDC rattan and CDC Hilose. These three varieties also offer a range of starch characteristics to suit the needs of food manufacturers.

Barley has two types of starch: amylose and amylopectin. Their relative proportions influence the grain’s functional and nutritional qualities. For example, a higher amylose content leads to higher levels of “resistant starch,” which may help reduce glycemic response, an important factor in the control of diabetes.

“of our three current varieties, CDC Fibar has the highest beta-glucan content [about 10 percent] but the poorest agronomic performance,” says rossnagel. “The other two varieties are quite competitive in terms of productivity, disease resistance, straw strength and so on. CDC rattan has high beta-glucan and waxy starch [higher proportion of amylopectin]. CDC Hilose has high beta-glucan and a higher proportion of amylose.”

rossnagel notes the CDC has “several other food barley varieties on the way – if there is a market for it. at this point there is no market for the product.” However, he is hopeful that will change.

Healthful incentive

The health claim and the work that such people as nancy ames, Marta Izydorczyk at the Canadian grain Commission and Linda Malcolmson at Canadian International grains Institute have done on barley nutrition over the past two decades should be an incentive for food companies to take a closer look at food barley, notes rossnagel. He also sees another factor that could help.

“When the Canadian Wheat Board was the sole marketing agency for barley, the paperwork and regulatory burden made it

very difficult for small companies to grow a small amount of a food barley and process it for use by a local baker, for instance. now they don’t have that impediment,” he says. “So hopefully some smaller operations will be able to [take advantage of such opportunities]. Then if some of them become noticeably successful, the big food companies will look at barley.”

one western Canadian product already using the health claim is Quick Cooking Barley. Its product information now includes the statement: “50 g (1/2 cup) of progressive Foods Inc. Quick Cooking Barley provides 75% of the daily amount of the fibre shown to help lower cholesterol.”

“Quick Cooking Barley is whole-grain hulless barley that has been lightly buffed, cooked and dried so that it is ready in 10 minutes without sacrificing any nutritional benefit,” says Marvin nakonechny, Ceo of progressive Foods. “It is a healthy, convenient, tasty alternative to rice, pasta and potato.”

Currently, progressive Foods uses Falcon, a non-waxy, hulless variety, for Quick Cooking Barley. “I’m investigating other nonwaxy barleys that have a higher soluble fibre content, and we’re testing them to see how well they work in our processing plant,” notes nakonechny, adding he thinks using one of the higher betaglucan varieties could mean that a half-cup serving of Quick Cooking Barley would provide 100 percent of the daily amount of barley beta-glucan required to lower cholesterol.

He believes the health claim will help the food barley industry a great deal, by increasing the interest of health-conscious consumers and by providing information for nutritional educators. He would also like to see Canadian health claims for some of barley’s other benefits, such as its effect on lowering glycemic response.

For consumers, barley offers more than beta-glucan fibre; for example, it has a high level of vitamin e, antioxidant components, and other important types of dietary fibre. “Barley has a good complement of vitamins and minerals that make it a pretty wellrounded food,” says ames.

researchers are continuing to evaluate barley’s other health effects. For example, ames is conducting clinical trials on the role of barley in lowering glycemic response and in providing a sense of fullness after eating, which helps with weight control. The results so far look promising.

as well, ames and others have developed various food barley processes and recipes to encourage consumers and companies to consider barley. “You can puff it, bake it and make all sorts of things from it,” she notes. “We developed a retort product [an instant whole-grain product]. We’ve got barley tortillas, tortilla chips, pitas and cookies. Barley goes beautifully in bannock, and I have a delicious waffle recipe – waffles are really dull until you have these barley waffles.”

ames is currently using the health claim as a way to help people learn about food barley. For instance, she is talking to dietitians about the health claim, and she has developed recipes specific to the health claim so people can easily obtain their daily three grams of barley beta-glucan.

Despite all these efforts, growing the food barley industry remains a challenge. “We still have some mountains to climb,” says ames. “our hope has always been to let consumers know about and have the opportunity to utilize barley for its nutritional and sensory properties. I’m not sure yet if the health claim is helping towards that. If we can just get consumers to realize that barley has a lot to offer them, the rest will fall into place.”

IT’S WHAT YOU’LL FEEL WHEN YOU GET AN EXTRA 3 TO 4 BUSHELS OF CANOLA AN ACRE.

We’re giving away 4 Hawaiian vacations. Enter at agsolutions.ca/agcelence

Use code: HTCfXJ4

Peace of mind can be yours when you use HEADLINE® fungicide on your canola.

Not only is it unrivalled in Blackleg control, it gives plants inner strength through AgCelence™ –greener leaves, stronger stems and as a result, higher yields.* And since it can be applied with your herbicide, it saves you work too.

So your feelings of tranquility will be as bountiful as your yield. Visit agsolutions.ca/headline for more.

*All comparisons are to untreated, unless otherwise stated. Always read and follow label directions. AgSolutions, and HEADLINE are registered trade-marks of BASF Corporation; AgCelence is a trade-mark of BASF SE; all used with permission by BASF Canada Inc. HEADLINE should be used in a preventative disease control program. © 2013 BASF Canada Inc.

Turn static files into dynamic content formats.

Create a flipbook
Issuu converts static files into: digital portfolios, online yearbooks, online catalogs, digital photo albums and more. Sign up and create your flipbook.