CABL Preliminary Plan & Proposed SMA

Page 1


Abstract

Date September 18, 2025

Title Preliminary Central Avenue-Blue/Silver Line Sector Plan and Sectional Map Amendment

Author The Maryland-National Capital Park and Planning Commission

Subject Central Avenue-Blue/Silver Line Sector Plan and Sectional Map Amendment

Source of copies The Maryland-National Capital Park and Planning Commission 1616 McCormick Drive Largo, MD 20774

Series number 450252306

Number of pages 358

The 2025 Preliminary Central Avenue-Blue/Silver Line Sector Plan and Sectional Map Amendment proposes a new sector plan for parts of Planning Areas 72, 75A, and 75B. Upon approval, it will fully replace the 2008 Approved Transit District Development Plan for the Capitol Heights Transit District Overlay Zone. Additionally, this plan will amend portions of the 2014 Plan Prince George’s 2035 Approved General Plan (Plan 2035) and other relevant countywide functional master plans.

Developed between May 2023 and August 2025 with significant public input, including meetings and feedback from residents, property owners, business owners, public agencies, and stakeholders, the plan sets a long-term vision for the Central Avenue-Blue/Silver Line area. It defines goals, policies, and strategies through targeted focus areas and the eight planning elements outlined in Plan 2035. A Proposed Sectional Map Amendment accompanies the draft, recommending zoning changes for implementation.

The plan prioritizes directing residential growth to Plan 2035-designated Centers and neighborhood-serving retail areas. It aims to promote transit-oriented, pedestrian-friendly development while preserving the natural environment. The implementation framework provides a clear timeline, identifies key partnerships and funding sources, and outlines action items to guide development over the next 20 years.

The Maryland-National Capital Park and Planning Commission

Darryl Barnes, Chairman

Artie L. Harris, Vice Chair

Officers

William Spencer, Acting Executive Director

Gavin Cohen, Secretary-Treasurer

Debra S. Borden, Esq., General Counsel

The Maryland-National Capital Park and Planning Commission (M-NCPPC) is a bi-county agency, created by the General Assembly of Maryland in 1927. The Commission’s geographic authority extends to the great majority of Montgomery and Prince George’s Counties: the MarylandWashington Regional District (M-NCPPC planning jurisdiction) comprises 1,001 square miles, while the Metropolitan District (parks) comprises 919 square miles, in the two counties.

The Commission has three major functions:

• The preparation, adoption, and, from time to time, amendment or extension of the General Plan for the physical development of the Maryland-Washington Regional District.

• The acquisition, development, operation, and maintenance of a public park system.

• In Prince George’s County only, the operation of the entire county public recreation program.

The Commission operates in each county through a Planning Board appointed by and responsible to the County government. All local plans, recommendations on zoning amendments, administration of subdivision regulations, and general administration of parks are responsibilities of the Planning Boards.

The Prince George’s County Planning Department:

• Our mission is: To promote economic vitality, environmental sustainability, design excellence, and quality development in Prince George’s County.

• Our vision: Thriving communities now and into the future.

Prince George’s County Planning Board

Darryl Barnes, Chairman Vacant, Vice Chair

Manuel R. Geraldo

A. Shuanise Washington

Vacant

Montgomery County Planning Board

Artie L. Harris, Chair

Mitra Pedoeem, Vice Chair

Shawn Bartley

James Hedrick

Josh Linden

Prince George’s County

County Executive

Aisha N. Braveboy, Esq.

County Council

The County Council has three main responsibilities in the planning process: (1) setting policy, (2) plan approval, and (3) plan implementation. Applicable policies are incorporated into area plans, functional plans, and the general plan. The Council, after holding a hearing on the plan adopted by the Planning Board, may approve the plan as adopted, approve the plan with amendments based on the public record, or disapprove the plan and return it to the Planning Board for revision. Implementation is primarily through adoption of the annual Capital Improvement Program, the annual Budget, the water and sewer plan, and adoption of zoning map amendments.

Council Members

Edward P. Burroughs III, Chair, 8th District

Krystal Oriadha, Vice Chair, 7th District

Thomas E. Dernoga, 1st District

Wanika B. Fisher, Esq., 2nd District

Eric C. Olson, 3rd District

Ingrid S. Watson, 4th District

Shayla Adams-Stafford, 5th District

Wala Blegay, Esq., 6th District

Sydney J. Harrison, 9th District

Calvin S. Hawkins II, At-large

Jolene Ivey, At-large

Clerk of the Council: Donna J. Brown

TABLE

TABLE

TABLE

TABLE

TABLE

TABLE

TABLE

TABLE

TABLE

TABLE

TABLE

FIGURE

FIGURE

FIGURE

FIGURE

FIGURE

FIGURE

FIGURE

FIGURE

Foreword

The Prince George’s County Planning Board of The Maryland-National Capital Park and Planning Commission is pleased to make available the Preliminary Central Avenue-Blue/Silver Line Corridor Sector Plan.

This is a comprehensive sector plan that contains recommendations for Land Use, Economic Prosperity, Transportation and Mobility, Natural Environment, Housing and Neighborhoods, Community Heritage, Culture and Design, Healthy Communities, and Public Facilities specific to the Central Avenue-Blue/Silver Line Sector Plan. To support implementation, the plan includes a detailed matrix that outlines priority actions, identifies responsible entities, and provides estimated timeframes.

We invite you to carefully review this preliminary plan and encourage you to attend the joint public hearing to present your views to the Prince George’s County Planning Board and Prince George’s County Council, sitting as the District Council. You are also encouraged to submit testimony in writing to the Clerk of the County Council. The Planning Board will review all comments presented at the joint public hearing in our deliberations prior to the adoption of the plan and transmit them to the County Council for action. We look forward to hearing from you soon!

Sincerely,

Section I: Blueprint for Tomorrow

Introduction

The Central Avenue-Blue/Silver Line Sector Plan outlines a long-term vision and strategic framework to guide the development of Inner-Beltway communities along Central Avenue, including portions of Capitol Heights, Seat Pleasant, and surrounding areas, through the year 2045. It establishes key policies and targeted strategies to foster growth and investment in these neighborhoods, all connected by the Metro Blue/Silver Line corridor (Map 1).

Between May 2023 and August 2025, residents, workers, businesses, property owners, elected officials from the Town of Capitol Heights and the City of Seat Pleasant, and other stakeholders collaborated with the Prince George’s County Planning Department and public agencies to shape the plan’s recommendations, ensuring they reflect community needs and aspirations.

The plan takes its name from the transportation corridor that defines the area. Central Avenue and the Metro Blue/Silver Line serve as a vital east-west connection between Capitol Heights, Seat Pleasant, and nearby neighborhoods, Washington, D.C., and the broader County. These transit routes link communities, fostering mobility, economic opportunity, and investment. Metro stations at Capitol Heights, Addison Road, and Morgan Boulevard, designated as local centers in Plan 2035, present prime opportunities for transit-oriented development, strengthening the vibrancy and accessibility of surrounding neighborhoods.

Figure 1. Capitol Heights Day 2023
PHOTO: M-NCPPC

Map 1. Central Avenue-Blue/Silver Line Sector Plan and Sectional Map Amendment Area Boundary

Source: Prince George’s County Planning Department, GIS Open Data Portal, 2025, https://gisdata.pgplanning.org/opendata/ Note: Full data citation available in Appendix K: Map Citations

Sector Plans

Sector Plans build on the goals, policies, and strategies of Plan Prince George’s 2035 (Plan 2035), the County’s General Plan for growth and preservation. Plan 2035 designates the areas surrounding Capitol Heights, Addison Road-Seat Pleasant, and Morgan Boulevard Metro Stations as Local Transit Centers, emphasizing potential for transit-oriented development.

To implement Plan 2035, sector plans refine development opportunities at the local level, incorporating community input, demographic trends, population forecasts, and market analyses. Once approved, Sector Plans may update land use and policy designations established in Plan 2035.

The Central Avenue-Blue/Silver Line Sector Plan aligns with Plan 2035’s three guiding themes Work, Live, and Sustain emphasizing the need to balance economic, social, and environmental considerations when creating land use policy.

Plan Vision

By 2045, the Central Avenue-Blue/Silver Line area is a premier gateway in Prince George's County, providing seamless multimodal connections to Washington, D.C. and Downtown Largo.

It is a vibrant destination that celebrates its rich history and strong community pride while supporting a diverse and inclusive economy. Thoughtful environmental stewardship ensures the protection of natural resources and the preservation of sensitive areas, fostering resilience and sustainability.

Thriving businesses energize commercial spaces, creating abundant job opportunities and strengthening the local economy. Walkable and bike-friendly streets offer residents, visitors, and workers of all ages and abilities safe, comfortable access to essential services, shopping, recreation, and inviting gathering spaces.

The area is a hub for healthy living, featuring accessible grocery stores, bustling markets, walkable neighborhoods, scenic trails, parks, and inclusive community facilities. It transitions smoothly from dynamic Metro hubs and major roadways to peaceful, well-established neighborhoods. A range of housing options, including higher-density residences near transit centers and major roadways, ensures accessibility and sustainability.

By 2045, residents of the Central Avenue-Blue/Silver Line Sector Plan area will:

WORK in a thriving and diverse economy that:

• Offers numerous job opportunities within a short bicycle or transit ride.

• Provides access to essential services and a variety of shopping, dining, and entertainment options for residents, visitors, and workers of all ages and abilities.

• Supports the revitalization of existing commercial areas.

• Allows locally owned small businesses to provide unique goods and services to a diverse market.

LIVE in a safe, walkable, and healthy community that:

• Features a range of housing types, including higher-density, mixed-use options, with price points that meet the needs of young adults, families, and seniors.

• Offers access to healthy food retailers, health care, and ample opportunities for indoor and outdoor recreation.

• Provides a robust trail and shared-use path systems that enhances commuting and recreation opportunities.

• Celebrates local history and culture.

SUSTAIN natural resources and public open space by:

• Prioritizing redevelopment and infill in Local Transit Centers and directing growth to the Metro stations.

• Providing a strong bicycle, pedestrian, and public transit network to reduce reliance on automobile travel and related emissions.

• Restoring stream valleys, enhancing tree canopies, and conserving ecological richness within the plan area.

Key Policies by Element

LAND USE

• Expedite transit-oriented development (TOD) through parcel assembly and strategic investment in Sector Plan Centers.

• Redevelop vacant and underutilized properties to revitalize neighborhoods and drive economic growth.

• Advance equity and inclusivity in land use and community development

ECONOMIC PROSPERITY

• Support small business ecosystems with an emphasis on historically underserved communities.

• Strengthen workforce resilience and entrepreneurship through accessible training, apprenticeships, and business incubation.

TRANSPORTATION AND MOBILITY

• Ensure the safety and comfort of non-motorists and support Vision Zero and Safe Routes to Schools goals.

• Improve active transportation infrastructure to enhance connectivity, safety, and accessibility for all

• Apply Complete Streets and Green Streets principles to street and roadway design.

NATURAL ENVIRONMENT

• Enhance the health and condition of streams, wetlands, floodplains, and their buffers.

• Implement a cost-effective, sustainable, and integrated green infrastructure approach to stormwater management.

• Expand the urban tree canopy and reduce impervious surfaces

HOUSING AND NEIGHBORHOODS

• Facilitate higher-density residential development near transit and in designated centers.

• Develop affordable, and attainable housing and create a variety of housing options and types

• Prevent displacement and provide security to vulnerable renters.

COMMUNITY HERITAGE, CULTURE, AND DESIGN

• Preserve, celebrate, and promote local historical resources to strengthen community identity.

• Integrate placemaking and urban design to highlight heritage themes and support local commerce.

• Ensure community-driven design that creates welcoming spaces and instills pride.

HEALTHY COMMUNITIES

• Strengthen healthy food systems by increasing access to nutritious, locally sourced food and expanding urban agriculture opportunities.

• Advance equitable access to quality healthcare programs and services to support community well-being.

• Foster age-friendly communities through sustainable land use, improved food access, and health-focused development.

PUBLIC FACILITIES

• Invest in public facilities and spaces to drive economic development, strengthen neighborhoods, and improve community well-being.

• Expand and enhance parks and recreation areas to support accessibility, sustainability, and socalization in Service Area 5.

• Ensure safe, inclusive, and adaptable recreation opportunities through community-driven design and improved public safety measures.

Section II: Defining the Context

Map 2. Sector Plan Area: Local Context

Source: Prince George’s County Planning Department, GIS Open Data Portal, 2025, https://gisdata.pgplanning.org/opendata/. Note: Full data citation available in Appendix K: Map Citations

Description of the Central Avenue-Blue/Silver Line Sector Plan Area

The Central Avenue-Blue/Silver Line Sector Plan area spans 4,020 acres, covering neighborhoods surrounding Capitol Heights, Addison Road-Seat Pleasant, and Morgan Boulevard Metro Stations, along with a National Football League (NFL) stadium. Located within the Inner Beltway, defined as the portions of Prince George’s County between the District of Columbia and I-95/I-495 (Capital Beltway), the area is shown in Map 3.

The plan area includes parts of the Town of Capitol Heights and all the City of Seat Pleasant, falling within Councilmanic Districts 5, 6, and 7 (Map 4). It lies entirely within Planning Subregion Four and encompasses Planning Areas 72, 75A, and 75B.

The area is also home to 372 acres of parks and open space, featuring recreation centers, trails, sports courts and fields, playgrounds, and picnic areas, providing recreational and environmental benefits for those living and working in the area. There are public schools and specialized education facilities, two fire/EMS stations, and two brownfield sites where controlled hazardous substances may be present (Map 5) The sector plan area is a unique mix of residential communities, historic sites, strip shopping centers, transit access, and parks and open space that provide a canvas of diverse places in the heart of the County.

Bisected by MD 214 (East Capitol Street/Central Avenue), the area serves as a vital commuter corridor, linking the Outer Beltway suburbs of Largo, Kettering, and Lake Arbor to the District of Columbia. It also lies within the Southwest Branch (Patuxent), Lower Beaverdam Creek (Anacostia), and Lower Anacostia River watersheds (Map 33).

Map 3. Sector Plan Area: County Context

Source: Prince George’s County Planning Department, GIS Open Data Portal, 2025, https://gisdata.pgplanning.org/opendata/ Note: Full data citation available in Appendix K: Map Citations Appendix K: Map Citations

Source: Prince George’s County Planning Department, GIS Open Data Portal, 2025, https://gisdata.pgplanning.org/opendata/ Note: Full data citation available in Appendix K: Map Citations

Map 4. Councilmanic Districts

Source: Prince George’s County Planning Department, GIS Open Data Portal, 2025, https://gisdata.pgplanning.org/opendata/ Note: Full data citation available in Appendix K: Map Citations

3 of the total population of Prince George’s County 3%

25,755 total population of the area

5% increase from 2018 ACS 5-year estimates

History

See Appendix J: History Timeline Citations for source citations

Algonquian-speaking tribes originally inhabited the land before settlers transitioned to farming and crop production. Transportation played a central role in shaping the area's development, from the construction of MD 332 (Old Central Avenue) in 1878, to the introduction of electric streetcars and the Metro Blue and Silver Lines, which spurred suburban growth near the District of Columbia and led to the incorporation of two municipalities as residents sought public services.

The Chesapeake Beach Railway (CBRy), with the former District Line station, operated from 1896 to 1935, carrying vacationers from the District of Columbia to a resort in Chesapeake Beach, Calvert County, Maryland.

During the 1950s and 1960s, a significant number of African-Americans moved to the area, seeking better job opportunities and escaping racial segregation in the South. Their presence helped the area thrive as a hub for Black business and culture.

Initially, Old Central Avenue served as a vital rural route for transporting goods from local farms to Washington, D.C. However, after the extension of MD 214 (East Capitol Street/Central Avenue) into the County, it became a major transportation corridor, profoundly influencing Prince George’s County’s social, economic, and physical growth.

HISTORY

17th and early 18th Centuries

Algonquian-speaking tribe people primarily settle, hunt, forage, and travel throughout the plan area and surroundings between the Potomac River and Chesapeake Bay.1

Late 1700s–early 1800s

Farms here successfully grew and harvested tobacco due to slave work, similar to most of the

1878

Central Avenue (now Old Central Avenue) was originally a key rural route for transporting farm goods to Washington, D.C., serving as the main road through Capitol Heights before East Capitol Street/Central Avenue was extended and widened to the north.

1910-1931

Capitol Heights incorporated with the initial land advertisements targeting white residents only and commuter hub, “streetcar suburb” Seat Pleasant incorporated to improve public services.5

1863-1877

Formerly enslaved African-Americans established farms and businesses, creating strong African-American communities.

In 1871, the Ridgley family acquired 52 acres at the northwest corner of Central Avenue and Garrett A. Morgan Blvd. where they developed a church,

1890s

The Columbia Railway Streetcar Line extended into Seat Pleasant, spurring new housing and attracting skilled workers from Washington, D.C., to Capitol Heights and Seat Pleasant.5

In 1898, the Chesapeake Beach Railway was extended from the D.C. line through the County to allow travel to Chesapeake Beach, a vacation destination in Calvert County. 5

1901

The Washington, Baltimore, and Annapolis (WB&A) Electric Line was established, connecting Washington, D.C., to Annapolis with a stop in Seat Pleasant.5

HOPKINS ATLAS, 1878. IMAGE BY
VIEW NORTH, YARD NORTH OF ENGINE HOUSE, SHOWING WATER TANK AND SHOP. PHOTOCOPY OF PHOTOGRAPH, 1941 (COURTESY OF CHESAPEAKE BEACH RAILWAY MUSEUM; L. W. RICE, PHOTOGRAPHER) - CHESAPEAKE BEACH RAILROAD ENGINE HOUSE, 21 YOST PLACE, SEAT PLEASANT,
ELECTRIC RAILROAD FROM BALTIMORE, MARYLAND TO ANNAPOLIS, MARYLAND AND WASHINGTON, D.C., CIRCA 1912. SOURCE: NA -

1945-1949

After World War II, African-American families migrated from the South, turning the area into a cultural and business hub. The Shelley v. Kramer ruling spurred Black homeownership, leading to developments like Peppermill Village.

1935

With the rise of automobiles, the WB&A Electric Line ceased operation. The tracks were converted into MD 704 (Martin Luther King Jr Highway), accommodating vehicular traffic.5

1996–2000

1970s

East Capitol Street was extended, bypassing the Old Central Avenue commercial district in the heart of Capitol Heights. This led to a decline in the area’s oncethriving business

In 1996, the Wilson Dairy Farm site was chosen for FedExField (now Northwest Stadium), home of the Washington Commanders. Part of the land sale funded the nearby Prince George’s Sports and Learning Complex, which opened in 2000.8

2019

The Hampton Park mixed-use development project began construction of commercial, retail, office, residential, and hotel spaces.10

2023

The County secured $400 million from the Maryland Stadium Authority for public projects near Morgan Boulevard and Downtown Largo, aiming to boost the Central Avenue corridor and attract private investment.11

1980

Two new Metro stations, Capitol Heights and Addison Road-Seat Pleasant, opened on the Blue Line, improving public transportation access.7

2004

Two additional Metro stations, Morgan Boulevard and Largo Town Center, opened as part of the Blue Line extension, further enhancing transit options in the region. 9

AERIAL IMAGE OF PLAN AREA, 1938; BY
CAPITOL HEIGHTS, MARYLAND; FIREMEN’S PARADE, SEPTEMBER 8, 1951; PHOTO COURTESY OF THE SMITHSONIAN NATIONAL MUSEUM OF
AERIAL PHOTO OF PLAN AREA, 1980; BY M-NCPPC.
WILSON FARM, 1990; PHOTO BY M-NCPPC.
AERIAL PHOTO OF PLAN AREA, 2007; BY M-NCPPC.
PHOTO BY M-NCPPC.

Planning Background

PLAN 2035

The 2014 Plan Prince George’s 2035 Approved General Plan (Plan 2035) outlines a 20-year vision to establish Prince George’s County as a regional economic hub, a leader in sustainable growth, and a community of strong neighborhoods. It sets growth management targets and success indicators to track progress.

Plan 2035 prioritizes growth in eight Regional Transit Districts and 26 Local Centers, while strengthening Employment Areas to support business clusters and economic activity. Established Communities remain integral, with policies that preserve neighborhood character, enhance connectivity, and ensure access to essential services. For details, visit www.planpgc2035.org

Plan 2035 designates Centers as key areas for growth and development, categorized by tiers based on their intended function, density, and regional importance. These Centers play a central role in advancing transit-oriented development (TOD), driving economic growth, and guiding infrastructure investments, thereby shaping the County’s long-term strategy for land use and mobility.

2. Example of TOD

Figure
PHOTO: M-NCPPC

District and Center Features:

1. Regional Transit Districts (RTDs): High-density, mixed-use developments centered around Metrorail and major transit hubs, reducing car dependency while fostering economic growth, mixed-income housing, and pedestrian-friendly environments. These districts prioritize sustainable infrastructure, enhance accessibility, and concentrate residential and job growth near transit nodes to promote walkable communities, housing diversity, and smart urban development. By curbing sprawl and maximizing transit investments, they strengthen economic vitality and create a more efficient, connected region.

2. Local Centers:

a. Local Transit Centers (LTCs): Moderate-density, mixed-use hubs near Metrorail stations, MARC, and bus corridors, prioritizing transit access, walkability, and smaller-scale investments. These areas support community-serving employment, small businesses, and diverse housing options while fostering economic growth and strengthening local character. Capitol Heights, Addison Road-Seat Pleasant, and Morgan Boulevard Metro Station areas are in designated Local Transit Centers, offering a blend of housing, retail, and employment opportunities. By enhancing transit access and local amenities, these centers promote vibrant, walkable communities and sustainable development.

b. Town Centers (TCs): Moderate- to high-density, mixed-use developments near major roads and transit corridors, blending residential, commercial, and civic spaces. They serve as hubs for retail, dining, and entertainment while promoting housing diversity, vibrant public spaces, and targeted infrastructure upgrades. Designed for walkability and connectivity, Town Centers integrate commercial and residential spaces, providing amenities, employment opportunities, and serving as social and economic anchors that enhance and support surrounding neighborhoods.

PLAN 2035 GROWTH POLICY AREAS

The Central Avenue-Blue/Silver Line Sector Plan area includes five existing Plan 2035 Growth Policy Areas:

• Established Communities (Map 6)

• Employment Areas (Map 6)

• Morgan Boulevard Local Transit Center

• Capitol Heights Local Transit Center

• Addison Road Local Transit Center

Source: Prince George’s County Planning Department, GIS Open Data Portal, 2025, https://gisdata.pgplanning.org/opendata/ Note: Full data citation available in Appendix K: Map Citations

PLANS, STUDIES, AND INITIATIVES SUMMARY

Previously Adopted Plans

2010 APPROVED SUBREGION 4 MASTER PLAN AND SECTIONAL MAP AMENDMENT

The 2010 Subregion 4 Master Plan and Sectional Map Amendment was crafted to implement the goals outlined in the 2002 Prince George’s County Approved General Plan. It sought to improve the quality of life in established neighborhoods, encourage mixed-use development along key transportation corridors, stimulate local economic development, and protect the area's environmentally sensitive resources.

Encompassing 29 square miles, the plan area is bounded by US 50 to the north, the District of Columbia to the west, Suitland Parkway to the south, and I-495 to the east. Within these boundaries lies the entirety of the Central Avenue–Blue/Silver Line Sector Plan area. The plan provides strategic guidance for industrial districts, six distinct living areas, and eight designated centers, supporting a diverse range of housing options from longstanding historic communities to newly imagined transit-oriented neighborhoods.

Growth centers play a central role in the Plan, envisioned as vibrant, walkable districts where office space, retail establishments, and high-density residential buildings are concentrated to fuel economic vitality. Within the sector plan area, five of the designated living areas and three of the growth centers converge, each one structured around the corridor’s three Metro stations to maximize access and connectivity.

Although the 2010 Subregion 4 Master Plan and Sectional Map Amendment offers a broad and comprehensive framework for development, the Central Avenue–Blue/Silver Line corridor demands more detailed attention. A targeted sector plan and corresponding Sectional Map Amendment are needed to fully realize the potential of this transit corridor, guiding both the revitalization of aging commercial spaces and the strategic expansion of development opportunities.

2008 CAPITOL HEIGHTS APPROVED TRANSIT DISTRICT DEVELOPMENT PLAN AND

TRANSIT DISTRICT OVERLAY ZONING MAP

AMENDMENT

The 2008 Capitol Heights Transit District Development Plan (TDDP) aimed to spark transit-oriented development within the 302-acre Transit District Overlay Zone (TDOZ) surrounding the Capitol Heights Metro Station. It envisioned a vibrant, mixed-use district anchored by the station and supported by a revitalized Old Central Avenue corridor. The plan sought to leverage multimodal access to boost ridership, improve walkability, and foster sustained economic growth.

Despite aligning with regional goals, the TDDP has not achieved its intended transformation. A key development agreement collapsed in 2014, and limited progress followed. Challenges such as insufficient investment, aging infrastructure, complex zoning, and community concerns have hindered momentum.

Ultimately, the plan lacked the tools to move from vision to reality. Without clear funding strategies, phased implementation, or strong coordination, efforts stalled. However, renewed interest in the station area offers an opportunity to reframe the plan with achievable goals, inclusive engagement, and a focus on long-term success.

2004 MORGAN BOULEVARD AND LARGO TOWN CENTER APPROVED SECTOR PLAN

The 2004 Morgan Boulevard and Largo Town Center Approved Sector Plan established development goals for the Morgan Boulevard and Largo Town Center Metro Stations, emphasizing mixed-use, transit-oriented development. It proposed transportation improvements and urban design standards to enhance access and ensure quality development. A Sectional Map Amendment and Development District Overlay Zone (DDOZ) were implemented but later eliminated in 2022 under the new Zoning Ordinance. While high-density residential projects were completed at Morgan Boulevard, no mixed-use developments materialized. This plan was superseded by the 2010 Approved Subregion 4 Master Plan and Sectional Map Amendment

2000 ADDISON ROAD METRO TOWN CENTER AND VICINITY APPROVED SECTOR PLAN AND SECTIONAL MAP AMENDMENT

The 2000 Addison Road Metro Town Center and Vicinity Approved Sector Plan envisioned the area around the Addison-Seat Pleasant Metro Station as a mixed-use town center, featuring high-quality residential, office, retail, and recreational spaces within walking distance of the station. The plan covered a 3.6square-mile area bounded by MD 704 (Martin Luther King Jr Highway) to the north, Hill Road and a powerline corridor near Shady Glen Drive to the east, Walker Mill Road to the south, and Rollins Avenue, the Palmer subdivision, and Southern and Eastern Avenues to the west at the D.C. border.

A core area around the Metro station was designated for redevelopment into a community focal point for retail, services, offices, public uses, and recreation, supported by a Sectional Map Amendment that introduced a Development District Overlay Zone (DDOZ). However, block-level standards, redundancies in the Zoning Ordinance, and market challenges limited progress, and no major development occurred.

This plan was later replaced by the 2010 Approved Subregion 4 Master Plan and Sectional Map Amendment

Previous Studies

2014 CENTRAL AVENUE-METRO BLUE LINE CORRIDOR TOD IMPLEMENTATION PROJECT MOBILITY STUDY

This Corridor TOD Implementation Project looked at the streets, transit infrastructure, and open space of the area around Central Avenue as a framework to build upon to support future land use and development changes. Future traffic conditions were assessed through proposed land use and complete streets concepts tests. The study identifies short- and long-term projects and “proposes a series of actions that will help to bring about more affordable, comfortable, convenient, connected, and healthy transportation network.” 1

2014 CENTRAL AVENUE-METRO BLUE LINE CORRIDOR TOD IMPLEMENTATION MARKET AND TRANSITORIENTED DEVELOPMENT POTENTIAL, PRIORITIES, AND STRATEGIES STUDY

This study included a market and Transit-Oriented Development (TOD) potential study that supports the Corridor TOD Implementation Project. The study includes an analysis of the development potential at the three metro stations, findings of market support for various land uses, and a discussion of economic development tools. 2

2015 CENTRAL AVENUE CONNECTOR TRAIL FEASIBILITY STUDY AND IMPLEMNETATION PLAN

This study and implementation plan outlines a proposed trail alignment, design, and vision for the project including safety, mobility, accessibility and economic development elements. The study also considers phasing, cost-estimates for preliminary engineering, and potential project funding opportunities 3

1 Prince George’s County Planning Department, 2014 Central Avenue-Metro Blue Line Corridor Tod Implementation Project Mobility Study https://www.pgplanning.org/wp-content/uploads/2024/03/CAMBLC-Mobility-Study-5.20.14_web.pdf

2 Prince George’s County Planning Department, 2014 Central Avenue-Metro Blue Line Corridor Tod Implementation Market And TransitOriented Development Potential, Priorities, And Strategies Study https://www.pgplanning.org/wp-content/uploads/2024/03/CAVEMTODPPSS-7.28.14_web.pdf

3 Prince George’s County Planning Department, 2015 Central Avenue Connector Trail Feasibility Study and Implementation Plan https://www.mncppcapps.org/planning/publications/PDFs/307/CACT_Final.pdf

2017 CENTRAL AVENUE CONNECTOR TRAIL 30%

DESIGN PROJECT: PHASE 1 – ADDISON ROAD SEGMENT

This design report provides a comprehensive assessment of existing site conditions along the onemile segment of MD 332 (Old Central Avenue) and MD 214 (Central Avenue) between Yolanda Avenue and Peppermill Drive. The design plan presents a summary of the trail design with key design features, outlines where utility adjustments and property impacts would be necessary to construct the trail and explores costs and maintenance and operation responsibilities. 4

2018 MORGAN BOULEVARD AND VICINITY STUDY AND ACTION PLAN

The study and action plan evaluated market-supportable uses at key sites, as recommended in previous plans, and highlighted actions to help facilitate redevelopment. “The market analysis suggests the study area is well positioned to become a regional, potentially national, destination for amateur indoor athletics and sports-focused entertainment while simultaneously becoming Prince George’s County’s premier destination for active adult, senior living and wellness-based communities.” 5

2019 MD 704 MARTIN LUTHER KING JR HIGHWAY STREETSCAPE ENHANCEMENT 30% DESIGN AND ENGINEERING REPORT

This study identified streetscape improvement designs and amenities along MD 704 (Martin Luther King Jr Highway) within the limits of the City of Seat Pleasant. The project proposes ways to repurpose the “median space and utilize available right-of-way to better accommodate all modes of transportation.” 6

4 Prince George’s County Planning Department, 30% Design of the Central Avenue Connector Trail (CACT): Phase I-Addison Road segment https://www.pgplanning.org/resource_library/30-design-of-the-central-avenue-connector-trail-cact-phase-i-addison-road-segment

5 Prince George’s County Planning Department, 2018 Morgan Boulevard And Vicinity Study And Action Plan https://www.pgplanning.org/wp-content/uploads/2023/10/Morgan-Blvd-Action-Plan_1.pdf

6 Prince George’s County Planning Department, 2019 MD 704 Martin Luther King Jr Highway Streetscape Enhancement 30% Design And Engineering Report https://www.pgplanning.org/resource_library/md-704-martin-luther-king-jr-hwy-streetscape-enhancement-30design-and-engineering-report/

The Blue Line Corridor 7 project is a transformative initiative in Prince George’s County, aiming to develop a dense, vibrant, multi-modal commercial corridor while fostering inclusive community engagement. The vision was first outlined in the County’s Economic Development Platform presentation in June 2021, establishing a framework for transit-oriented development in the County. With over $400 million in state bonding secured, the plan includes key anchor projects like an amphitheater, youth sports fieldhouse, central library and cultural center, market hall, and Wayne K. Curry Civic Plaza. These developments will support economic growth, public amenities, and entertainment, shaping a replicable model for transit-oriented development.

The County’s partnership with the Maryland Stadium Authority, formalized through a Memorandum of Understanding (MOU), establishes roles and funding for these projects. Public meetings and RFPs have engaged residents and businesses in the planning process, reinforcing transparency and collaboration. Protecting established communities remains a priority, with a focus on avoiding displacement through smart housing policies and sustainable growth. The vision centers on livability for all generations, fostering a diverse and thriving community where families can build their futures locally.

7 https://www.princegeorgescountymd.gov/departments-offices/county-executive/economy/blue-line-corridor-tod-guidance

2022 CENTRAL AVENUE-METRO BLUE LINE CORRIDOR SUSTAINABLE COMMUNITY RENEWAL APPLICATION

The Maryland Department of Housing and Community Development (MD DHCD) oversees the Sustainable Communities designation, providing a comprehensive set of resources to support community development, revitalization, and sustainability. The State renewal of the designation every five years. This renewal application process provides an opportunity for communities to involve stakeholders in developing a 5year vision for their area, outlining new strategies and setting new priorities. 8

2025 CAPITOL HEIGHTS VACANT LOT STRATEGY

The strategy establishes a Vacant Lot Inventory; identifies existing regulatory, environmental, maintenance, and financial challenges; and provides goals and recommendations for maintaining, repurposing, and/or developing vacant lots. The study aligns with past and ongoing planning efforts by the Town, the County, and region to support livable and transit-oriented communities. 9

8 Prince George’s County Planning Department, Sustainable Community Renewal Application, Central Avenue-Metro Blue Line Corridor, June 2022, https://dhcd.maryland.gov/Communities/Approved%20Sustainable%20Communities/Central-Avenue-Blue-Line-CorridorApplication.pdf

9 Prince George’s County Planning Department, March 2025 Capitol Heights Vacant Lot Strategy https://www.pgplanning.org/resource_library/capitol-heights-vacant-lot-strategy/

Community Engagement/Scenario Planning

Public participation is essential to successful master plans, as stakeholders, including officials, property and business owners, and community leaders, provide insights, identify issues, and shape recommendations.

As required by the Zoning Ordinance, a public participation program was submitted and approved by the District Council for the Central Avenue-Blue/Silver Line Sector Plan and Sectional Map Amendment. The program used both traditional and digital strategies to share information, gather feedback, and foster dialogue. Materials were translated into Spanish, with interpretive services available at the kickoff and open houses.

Key engagement methods included:

 Interviews

o Conducted 30+ stakeholder interviews with 50+ developers, property owners, organizations, and state, County, and municipal agencies.

 Community Events

o Local Office Hours

o Metro Pop-ups

o Municipal Meetings and Events

o Community Input Meetings

o Community-wide Open House Events

o Focus Group Virtual Meetings

 Online Engagement Tools

o Virtual Kickoff Meeting

o Interactive Community Mapping Tool

o Social media campaign

o Visioning WordCloud

o Konveio site with interactive document commenting.

o Project Video

 Documents

o Existing Conditions StoryMap and report

o DRAFT Vision Statements, Goals, and preliminary concept plans

PHOTO: M-NCPPC

Community Engagement

Find complete details on community engagement efforts in Appendix B.

Community Center Office Hours Events

at Seat Pleasant Activity Center, Peppermill Community Center, and Sports and Learning Complex (July/August 2023)

Municipal Meetings and Community Events where the project team partnered to provide information and conduct conversations with residents.

Attendees at Spanish-Focused Community Meeting at St. Margaret of Scotland Catholic Church (February 18, 2024) 3 40 3 28 33 29

Attendees at Virtual Public Kickoff Event held via Microsoft Teams Webinar (September 2023)

Comments on Konveio online draft vision statements (December 19, 2023 to January 24, 2024)

Metro Station Pop-Up Events at Capitol Heights, Addison Road-Seat Pleasant, and Morgan Boulevard Metro stations (September/October 2023)

Prince George’s County Planning Department

Responses to online SWOT Exercise

Strengths, Weaknesses, Opportunities, Threats map activity via ArcGIS Survey123 (September 7, 2023, to November 22, 2023)

Attendees at March 2024

Open House Events (March 13 and March 16, 2024)

Prince George’s County Planning Department

Responses to WordCloud

online engagement exercise via Slido.com (September 18, 2023, to November 22, 2023)

Social Media

posts and advertisements across Facebook, Instagram, and X

Community Input Meetings

with homeowners and civic associations, faith-based and nonprofit organizations, and municipalities (October/November 2023)

Constant Contact Email Blasts sent to mailing list and stakeholders

Date(s) Milestone

Apr. 2023 Planning Board Initiation

May 2023 County Council Initiation

Feb.-Jun. 2023 Virtual Stakeholder Meetings

Jul.-Aug. 2023 Community Center Office Hours

Sep. 2023 Virtual Public Kickoff Meeting

Sep.-Oct. 2023 Metro Station Pop-up Events

Oct.-Nov. 2023 Community and Municipal Input Meetings

Dec. 2023-Jan. 2024 Visioning

Feb. 2023 Hispanic/Latino Community Input Meeting

Mar. 2024 Open House Events

Dec. 2024-Jan. 2025 Community Leader and Municipal Draft Plan Review and Work Sessions

Sept. 18, 2025 Permission to Print Preliminary Sector Plan

Winter 2026 Joint Public Hearing

Winter 2025/26 Planning Board Work Session

Winter/Spring 2026 Planning Board Adoption

Spring 2026 Council Work Session

Spring 2026 Council Approval

COMMUNITY ENGAGEMENT KEY TAKEAWAYS

This plan draws on insights from interviews with key stakeholders and partner agencies, discussions with residents at community events and meetings, online surveys, and briefings with decision-makers and elected officials. This represents the view of those that participated in the planning public participation process.

LAND USE

• Support increased density near Metro stations.

• Prefer fewer businesses that are autocentric, with more focus on pedestrianfriendly development.

• Desire for more community gathering spaces and family-friendly environments.

• Want vacant property cleaned-up and properly maintained.

ECONOMIC PROSPERITY

• Desire for a grocery store or supermarket.

• Interest in attracting new businesses, quality retail, and diverse amenities such as medical and dental offices, sit-down restaurants, and entertainment options, particularly around Metro stations and along Central Avenue.

• Emphasize the importance of workforce development and job creation to support economic growth.

• Concern about potential displacement, with a strong desire to keep the area affordable while promoting growth and development.

TRANSPORTATION AND MOBILITY

• Many residents depend on public transit including Metro, bus, and paratransit services.

• Residents value the area’s proximity to D.C. and the ease of using Metro transit.

• There a desire for improved bus stops and more frequent service to better connect neighborhoods and destinations.

• Walking and biking feel unsafe due to current conditions, prompting calls for a more connected network of sidewalks, paths, and bike lanes.

• There is widespread anticipation for the Central Avenue Connector Trail’s (CACT) construction.

• Speeding, especially along Central Avenue, is a major concern.

NATURAL ENVIRONMENT

• There is a clear need to address nuisance flooding in specific areas.

• Residents want to see existing green spaces preserved and more green spaces added.

Issues with illegal dumping and litter in wooded areas.

HOUSING AND NEIGHBORHOODS

• Residents want to preserve existing affordable housing and increase the supply to address current shortages.

• There is a desire for more housing options tailored to seniors.

COMMUNITY HERITAGE, CULTURE, AND DESIGN

• Residents want to preserve the area's strong sense of community and cultural heritage.

• There is a desire for clean, wellmaintained public spaces, including medians, sidewalks, roadways, and shopping areas.

• Great interest in defining a stronger sense of place through public art.

HEALTHY COMMUNITIES

• Residents want more options for purchasing fresh, healthy, and culturally diverse food.

• Many feel there are too many liquor/tobacco stores and fast-food restaurants in the area.

PUBLIC FACILITIES

• Residents want more parks, open spaces, and recreational facilities, with activities and areas for children, teens, and seniors.

• They seek improved access to highquality education for local youth.

• There’s a call for coordinated public safety efforts, with improvements like better lighting, regular vegetation maintenance, and the installation of security cameras.

KEY STAKEHOLDER INTERVIEWS

PRIVATE

• Coalition of Central Prince George’s County Community Organizations

• The Community Builders, Inc./Harambee Development

• Banneker Ventures

• Horning

• Northwest Stadium Representatives

PUBLIC County

• Prince George’s County Public Schools (PGCPS)

• Revenue Authority of Prince George’s County

• Prince George’s County Office of Community Relations (OCR)

• Prince George’s County Economic Development Corporation (EDC)

• Prince George’s County Office of the County Executive, Assistant Deputy Chief Administrative Officer (DCAO) for Economic Development

• Redevelopment Authority of Prince George’s County

• Prince George’s County Department of Environment (DoE)

• Prince George’s County Department of Housing and Community Development

• Prince George’s County Department of Parks and Recreation (DPR), M-NCPPC

• Prince George’s County Fire/Emergency Medical Services Department (Fire/EMS)

• Prince George’s County Department of Health

• Prince George’s County Department of Public Works and Transportation (DPW&T)

• Latino Affairs Liaison, Office of the County Executive

• (Current) Prince George’s County Council 5, Shayla Adams-Stafford

• (Previous) Prince George’s County Council 5, Jolene Ivey and staff

• Prince George’s County Council District 6, Wala Blegay and staff

• Prince George’s County Council District 7, Krystal Oriadha and staff

Municipal

• Town of Capitol Heights Mayor and Council

• City of Seat Pleasant Mayor and Council

State

• Maryland Department of Transportation, State Highway Administration (SHA)

• Maryland Department of Transportation, Maryland Transit Administration (MTA) & Office of Planning and Capital Programming

• Maryland Department of Commerce

Washington, D.C.

• District of Columbia Housing Authority

• District of Columbia Office of Planning

Other (Quasi-Public)

• Washington Metropolitan Area Transit Authority (WMATA)

• Washington Suburban Sanitary Commission (WSSC)

Institutional

• City of Praise Family Ministries

• St. Margaret of Scotland, Capitol Heights

• First Baptist Church of Capitol Heights

Nonprofit

• Local Initiatives Support Corporation (LISC) DC

• Scenic America/Prince George’s

• Greater Capitol Heights Improvement Corporation

• Coalition for Smarter Growth

• The Training Source, Inc.

• CASA of Maryland

• Washington Area Bicyclist Association (WABA)

SCENARIO PLANNING

Scenario planning evaluates potential growth and its impacts, helping guide informed policy decisions. To be effective, scenarios must be both realistic and achievable, avoiding impractical projections that could undermine the plan. This approach examines multiple growth paths rather than predicting a single outcome, factoring in policy and regulations, infrastructure investments, and market conditions. By testing various development possibilities, planners can better anticipate challenges, refine strategies, and create resilient, well-balanced growth policies.

As part of the scenario planning process, the planning team and consultants integrated insights from community engagement, a consultant-led market study, and urban design visualizations to develop two alternative development scenarios for each key area.

To gather public input, the team hosted two open houses where attendees reviewed the scenarios and provided feedback through paper surveys or electronically via Slido. After the open houses, the scenarios and surveys were made available online for additional participation.

Participants selected their preferred scenario and explained their choices. Based on this feedback, consultants developed a preferred hybrid scenario that balances market feasibility, community

priorities, and design principles to guide growth and development in each key area. For details on the recommended development scenarios, refer to Section III: Focus Areas.

PHOTO: M-NCPPC
Figure 3. Scenario Planning Workshop

Major Opportunities and Challenges

As part of this plan’s development, the project team conducted a comprehensive assessment of existing conditions, reviewed prior studies, and engaged community members and stakeholders. This analysis revealed the following key opportunities and challenges shaping the area’s future.

LAND USE

OPPORTUNITIES

• Leverage Metro station proximity to support higher-density, mixed-use development.

• Advance land use strategies that improve transit accessibility, walkability, and sustainability.

• Redevelop vacant and underutilized properties to revitalize neighborhoods and attract investment.

• Use tools such as land banking, rezoning, and financial incentives to facilitate redevelopment.

• Reconfigure commercial corridors to support neighborhood-serving retail, mixed-use infill, and walkable streetscapes.

CHALLENGES

• Fragmented land ownership impedes large-scale projects, especially near transit.

• Overcoming these barriers requires proactive assembly strategies and publicprivate coordination.

• Differing priorities among residents, developers, and local government can stall progress.

• Transparent, inclusive engagement is essential to build consensus and support for land use initiatives.

ECONOMIC PROSPERITY

OPPORTUNITIES

• Repurpose underutilized or vacant retail properties into mixed-use developments or diverse community-serving uses that better reflect current market demand and local needs.

• Assess the viability of smaller-format grocery stores to address retail service gaps.

• Allocate funding to support small businesses with resources for growth and sustainability.

• Expand job training programs to cultivate a skilled workforce aligned with employer needs.

CHALLENGES

• Managing multiple major projects simultaneously may strain resources, leading to potential delays and inefficiencies.

• Balancing revenue generation with investment attraction may require reevaluating impact fee structures, particularly near transit hubs.

• Navigating market fluctuations in retail, housing, and commercial space can affect project feasibility and timing.

TRANSPORTATION AND MOBILITY

OPPORTUNITIES

• Residents support safer streets and roadway redesigns to slow vehicles and protect pedestrians and cyclists.

• Proposed trails, such as the CACT and the Washington, Baltimore & Annapolis (WB&A) will improve access to key spaces through active transportation.

• Transit-oriented development can reduce car dependence while enhancing safer, more accessible street networks for pedestrians, cyclists, and bus riders.

• The Go Prince George’s Transportation Plan, Urban Street Design Standards, and Transit Network plans collectively improve accessibility and safety.

CHALLENGES

• Oversized roads and high speeds create major safety hazards for pedestrians and cyclists. 10

• Disconnected and unsafe infrastructure makes walking and biking difficult.

• Many bus stops lack benches, lighting, and shelters, while limited route frequency and connectivity hinder transit access. 11, 12

• Roadway and transit projects are costly and complex, with multiple agencies contributing to bureaucratic challenges.

NATURAL ENVIRONMENT

OPPORTUNITIES

• Increasing tree coverage, highlighted in recent assessments and conservation plans, will enhance air and water quality, support biodiversity, and strengthen climate resilience.

• Integrating green infrastructure, such as living walls and rooftop gardens, into new developments is more cost-effective than retrofitting and improves environmental and community well-being.

• Urban design, green remediation, and redevelopment, like projects at Addison Road Brownfield and Northwest Stadium, can advance environmental justice and restore contaminated sites.

• Expanding EV charging stations, reducing road miles, and promoting transit, biking, walking, and micromobility will help cut greenhouse gas emissions.

CHALLENGES

• Channelized streams, impervious surface coverage, and loss of forest and tree canopy, heighten risks from extreme weather events, such as heatwaves, floods, and droughts. 13

• Steep slopes and unstable soils in Capitol Heights and Addison Road make development difficult, while retrofitting green building features remains costly and complex.

• Despite actions taken under the 2015 Anacostia River and 2018 Western Branch Watershed Restoration Plans, visible improvements in water quality may take years to materialize.

HOUSING AND NEIGHBORHOODS

OPPORTUNITIES

• Market studies and community input highlight strong support for diverse housing options across various price points. 14

• Preserving and enhancing longestablished single-family neighborhoods outside Local Transit Centers maintains community character.

• New housing near the three Metro stations can boost transit ridership and provide higher-density living options.

CHALLENGES

• Rising rents and property taxes from new development may lead to displacement due to affordability concerns.

• Limited housing supply, compounded by minimal development over the last decade, fails to meet demand. 15

10 Maryland State Highway Administration. 2018. https://www.princegeorgescountymd.gov/sites/default/files/V ision-Zero-High-Injury-Network.pdf

11 WMATA. “Better Bus Route Profiles.” June 29, 2025. https://www.wmata.com/initiatives/plans/Better-Bus/routeprofiles.cfm?state=MD

12 Prince George’s County. “TheBus Transit Transformation Route Profiles.”

https://www.princegeorgescountymd.gov/departmentsoffices/thebus-new-routes-2025

13 Prince George’s County. “Climate Action Plan.” January 15, 2022.

https://e.issuu.com/embed.html?d=draft_climate_action_pla n_01-15-

2022&hideIssuuLogo=true&showOtherPublicationsAsSuggesti ons=true&u=environment.mypgc.us

14 BAE Urban Economics. “Central Avenue-Blue/Silver Line Sector Plan Market Study: Existing Conditions and Development Opportunities Analysis.” February 2024. https://www.pgplanning.org/wpcontent/uploads/2024/08/Central-Avenue-Blue-Silver-LineSector-Plan-Market-Study-Combined-022124A.pdf

15 BAE Urban Economics. “Central Avenue-Blue/Silver Line

Sector Plan Market Study:

Existing Conditions and Development Opportunities Analysis.” February 2024. https://www.pgplanning.org/wpcontent/uploads/2024/08/Central-Avenue-Blue-Silver-LineSector-Plan-Market-Study-Combined-022124A.pdf

• Homeownership remains out of reach for many, as median home prices are only affordable to those earning 100-120% of the area median income. 16

COMMUNITY HERITAGE, CULTURE, AND DESIGN

OPPORTUNITIES

• The area’s rich history, including its municipalities, prominent families, African-American legacy, and Native American heritage, can be showcased through research, placemaking, wayfinding, and interpretive signage.

• Historic urban design supports adaptive reuse and seamless integration of new buildings into the existing character.

• Reimagining MD 332 and MD 704 can create a midtown between Washington, D.C., and Downtown Largo, featuring new retail, cohesive urban design, and distinctive gateways enhanced by art and streetscape improvements.

• Municipalities and local partners can strengthen community connections, pride, and cultural education through events and programs.

CHALLENGES

• Additional research into historic design elements, public gathering spaces, and cultural assets is essential to fully understand and elevate the area’s distinct identity.

• Ongoing community engagement is essential to define cultural characteristics, such as faith, music, sports, and food traditions.

• Addressing dumping and littering in corridors and vacant lots requires a cultural shift toward valuing shared spaces, alongside stronger prevention strategies.

16 Census Bureau. American Community Survey 5-Year Estimates. 2023.

17 BAE Urban Economics. “Central Avenue-Blue/Silver Line Sector Plan Market Study: Existing Conditions and Development Opportunities Analysis.” February 2024. https://www.pgplanning.org/wpcontent/uploads/2024/08/Central-Avenue-Blue-Silver-LineSector-Plan-Market-Study-Combined-022124A.pdf

HEALTHY COMMUNITIES

OPPORTUNITIES

• The plan area can become a food oasis by integrating production, processing, and distribution into a strong local food system, including gardens, farmers' markets, and food forests within existing infrastructure.

• Expanding urban agriculture , from home gardens to urban farms, with better land access, financial incentives, and entrepreneurial support will strengthen food security.

• Metro stations can serve as health hubs, offering nutritious food, healthcare services, and outdoor markets with easy transit access.

• Improved sidewalks, trails, and bike networks will enhance connectivity to healthy food options, healthcare, and community spaces.

CHALLENGES

• Market conditions make it difficult to attract a supermarket or national grocery store. 17

• Rising food and housing costs strain household budgets, limiting access to healthy food.

• Assisted living and memory care remain unaffordable for many seniors with limited income and assets.

• A 2023 healthcare needs assessment found a $1.3 billion investment gap in inner-beltway healthcare services. 18

PUBLIC FACILITIES

OPPORTUNITIES

• Co-locating public facilities near transit, county buildings, and commercial areas enhances accessibility and service delivery.

18 Huron. Assessing Prince George’s County Healthcare and Social Needs and 10+ Year Investment Strategy, Prince George’s County, Maryland. October 2023. Page 23. https://www.princegeorgescountymd.gov/sites/default/files/ mediadocument/Prince%20George%27s%20County%20Healthcare %20and%20Social%20Needs%20Assessment%20%2B%20In vestment%20Strategy%20Final%20Report-compressed.pdf

• The area’s parks, open spaces, community centers, and schools serve as vital anchors, strengthened by expanded bike and pedestrian infrastructure.

• Targeted funding can drive economic growth, ease burdens on private developers, and create public sector jobs.

• Community policing, public space activation, and Crime Prevention Through Environmental Design (CPTED) strategies improve safety and deter crime.

• Recreation spaces and programs for youth and seniors remain a priority based on community input.

CHALLENGES

• Rising crime rates, highlighted in county reports, necessitate stronger prevention efforts. 19 20

• Bridging the digital divide requires expanding public Wi-Fi, ensuring universal internet access, and integrating non-digital communication methods.

• Limited funding hampers large-scale infrastructure improvements needed to support higher density and reduce reliance on private development.

• Development pressure near the Morgan Boulevard Metro Station poses challenges parkland preservation and equity goals; however, strategic opportunities remain for land acquisition in stream valleys and vacant areas for conservation. 21

19 M-NCPPC, Prince George’s County Planning Department. Sustainable Community Renewal Application Central AvenueMetro Blue Line Corridor. June 2022. https://dhcd.maryland.gov/Communities/Approved%20Sustai nable%20Communities/central_avenue_blue_line_corridor_a pp.pdf

20 Crime data from Prince George’s County Police Department 21 Prince George’s County Department of Planning. “Formula 2040: Functional Master Plan for Parks, Recreation, and Open Space.” The Maryland-National Capital Park and Planning Commission. January 2013. https://www.pgparks.com

Legal Context

Upon adoption, this sector plan will fully replace the 2008 Capitol Heights Transit District Development Plan and Transit District Overlay Zone Map Amendment and, within its boundaries, supersede the 2010 Subregion 4 Master Plan and Sectional Map Amendment. It will also amend the 2014 Plan Prince George’s 2035 Approved General Plan (Plan 2035), the 2009 Countywide Master Plan of Transportation (MPOT), Formula 2040: Functional Master Plan for Parks, Recreation, and Open Space (2013), and the 2017 Resource Conservation Plan: A Countywide Functional Master Plan. Specific amendments are detailed in Appendix C.

This plan was prepared under the 2018 Subtitle 27 Zoning Ordinance, Subtitle 24 Subdivision Regulations, and Landscape Manual, effective as of April 1, 2022. It will be adopted pursuant to Section 27-3502, with the accompanying Sectional Map Amendment (SMA) adopted under Section 27-3503.

Additional County Code provisions influencing land use and development were also considered in the preparation of this plan.

COUNTYWIDE MAP AMENDMENT

In 2020, the Planning Department proposed a Countywide Map Amendment (CMA) to update the County Zoning Map with the 2018 Zoning Ordinance zones. This sector plan can only be implemented by the zones in the 2018 Zoning Ordinance.

Visit zoningpgc.pgplanning.com for more information about the 2018 Zoning Ordinance and the Countywide Map Amendment.

SECTIONAL MAP AMENDMENT

A Sectional Map Amendment (SMA) is a comprehensive rezoning process for properties within a defined area, such as a subregion or planning area. Its purpose is to align zoning patterns with the recommendations of the relevant master or sector plan. Typically adopted alongside most plans, except general and functional master plans, this sector plan’s SMA is being prepared concurrently to propose zoning changes that support the plan's vision and goals.

Table 1. Prince George’s County Ordinance References

How to Use this Plan

This sector plan establishes the vision, goals, policies, and strategies for the 4,020-acre Central Avenue-Blue/Silver Line area and provides a framework for implementing that vision. It is structured into eight thematic chapters, or plan elements:

1. Land Use (LU)

2. Economic Prosperity (EP)

3. Transportation and Mobility (TM)

4. Natural Environment (NE)

5. Housing and Neighborhoods (HN)

6. Community Heritage, Culture, and Design (HD)

7. Healthy Communities (HC)

8. Public Facilities (PF)

Each chapter starts with an existing conditions summary, and outlines goals, policies, and strategies that align with Plan 2035 and integrates cross-references to ensure coordination across elements.

Policies (e.g., LU 1, LU 2) and strategies (e.g., LU 1.1, LU 2.1) are further categorized by geographic applicability, including:

• Areawide policies and strategies

• Center-specific recommendations

• Neighborhood Retail Focus Area-specific recommendations

This organization allows users to easily identify recommendations relevant to their area of interest.

How Different Users Can Use This Plan:

DEFINITIONS

V ISION : The vision statement describes what residents, workers, and stakeholders aspire for the area to become in 20 years, serving as the broad context for future decisionmaking.

G OAL : A goal outlines a desired future condition, representing the ultimate outcome that actions are intended to achieve. Each element of the plan begins with a goal.

P OLICY : A policy is an intentional statement that guides decisionmaking. It is designed to direct the actions of public, private, nonprofit, and institutional partners to realize the plan's vision and goals.

S TRATEGY : A strategy in an area sector plan is a targeted initiative, program, or project that works toward achieving a goal. Strategies can be included in an agency’s work program or capital budget, implemented by a private entity, or propose new partnerships or further studies.

Property Owners: Review the plan to understand how your property fits within the vision and how you may benefit. See Table 21 to understand your role in implementing strategies and how to engage with municipal, County, and state agencies to advocate for public projects.

Municipal Officials & Community Leaders: Familiarize yourself with the plan and your role in advocating for implementation. After adoption, refer to the Priority Action Plan in Table 22 to identify key strategies to begin implementing immediately.

County Agencies: Use to understand agency responsibilities in executing the plan’s strategies and actions.

HIERARCHY

Goals, policies, and strategies are organized with the most specific details taking priority over broader, general ideas. If a conflict is perceived between policies or strategies, the more specific strategy is applicable. The policies and strategies, as approved, take precedence over the tables and maps. If a conflict is perceived between text and graphics or tables, the policies and strategies are applicable.

PROPERTY INFORMATION

Several strategies, maps, and tables within this sector plan refer to specific properties where such recommendations apply. Properties identified in strategies, maps, and tables reflect their location, address, and tax account information as of August 2025. Should parcels be re-platted or new tax accounts or addresses assigned during the adoption and approval process, strategies, maps, and tables should be updated to reflect the accurate property information for those locations where recommendations specifically apply as of the date of sector plan approval.

Amendments to Plan 2035

This plan focuses on Plan 2035 Centers, outlining policies and strategies to advance transitoriented development (TOD), economic vitality, sustainability, and multimodal connectivity. It introduces amendments to the boundaries and designations of Plan 2035 Centers within the sector plan area, ensuring strategic alignment with visions and development objectives. Upon plan approval, these amendments will take effect, ensuring immediate consistency across all mapping and classification efforts.

Key amendments include:

• Redesignating the Morgan Boulevard Local Transit Center as a Regional Transit District to support high-density development and enhance connectivity.

• Expanding the Morgan Boulevard Regional Transit District’s boundary to accommodate future development and infrastructure improvements.

• Designating the stadium property as a Town Center, fostering a dynamic sports-centric hub within the Town Activity Center (TAC) zone.

• Expanding the Capitol Heights and Addison Road Local Transit Centers to strengthen their role in the Local, Transit-Oriented (LTO) zone

Map 7 illustrates these boundary and classification updates, which will define Plan 2035 Centers in all subsequent maps, ensuring consistency throughout the plan.

The following policies and strategies provide further details on these amendments and their implementation.

Policy GP 1. Amend the Plan 2035 Center Designations to increase development potential on key sites.

GP 1.1: Reclassify the Morgan Boulevard Local Transit Center to the Regional Transit District classification.

GP 1.2: Designate the Stadium Property as a Town Center.

Policy GP 2. Amend the Plan 2035 Center Boundaries to allow for expanded Transit-Oriented Zoning (see Map 7).

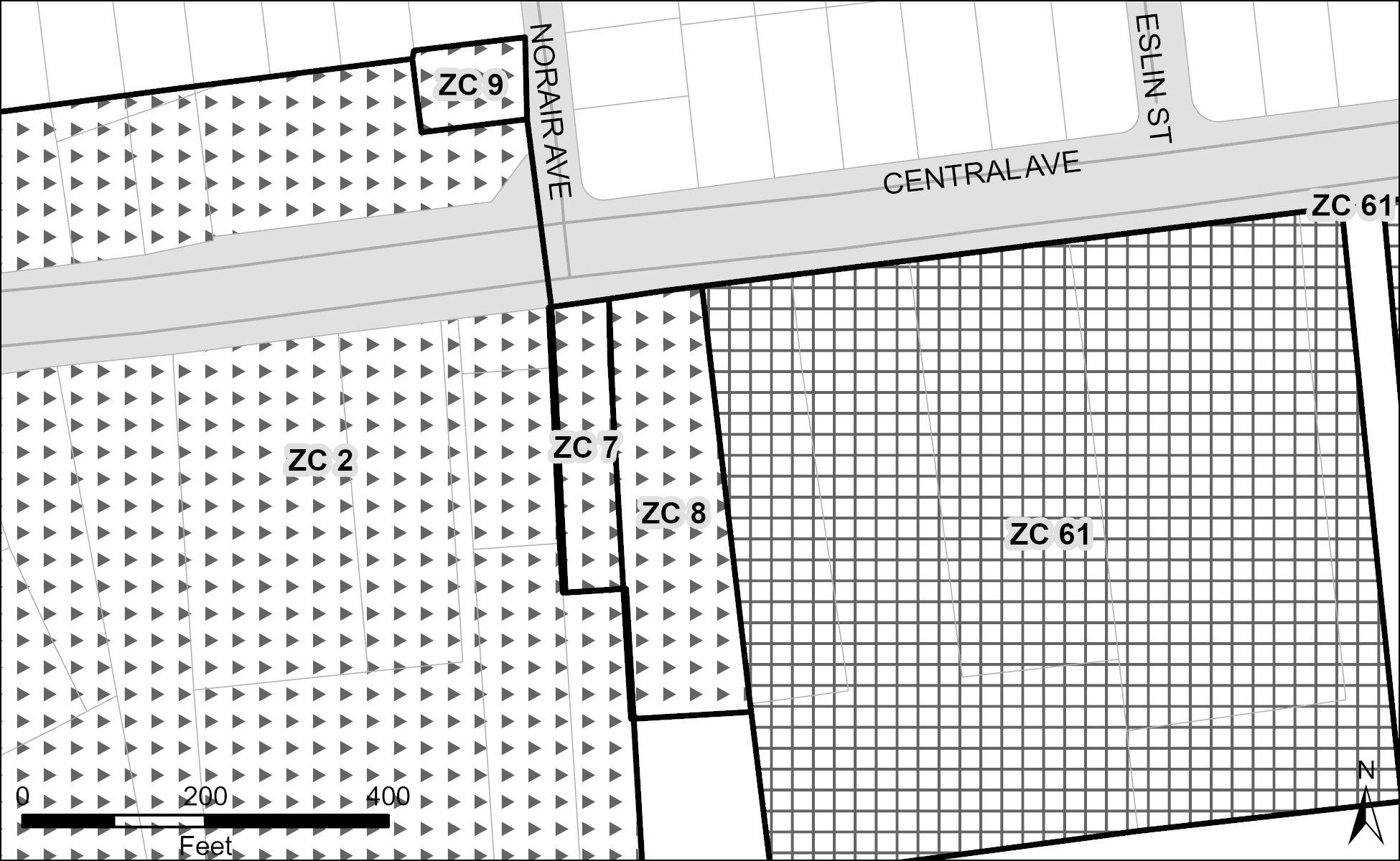
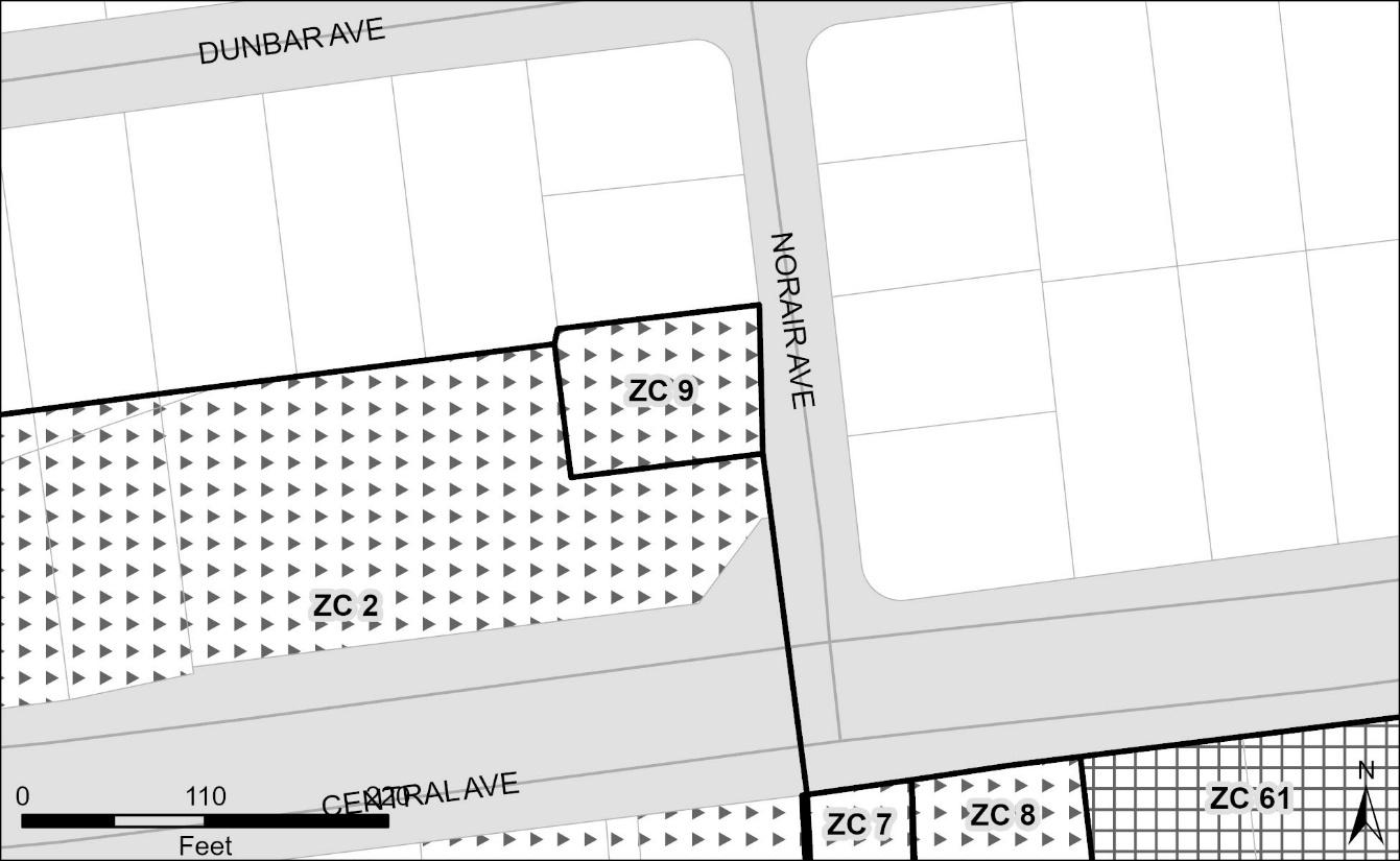
GP 2.1: Expand the boundary of the Morgan Boulevard Regional Transit District westward and southward to include the properties listed in ZC 1, ZC 2, ZC 7, ZC 8, and ZC 9 of the SMA.

GP 2.1.1: Remove Tax Accounts 2120657, 2120665, 2120673, 2120681, 2121580, 2121598, 2121606, 2121614, 2121622, 2121630, 2121648, 2121655, and 2121663 from the Morgan Boulevard Regional Transit District. These properties are located along East Nalley Road.

GP 2.2: Remove the RSF-95 properties fronting the south side of Nalley Road from the Morgan Boulevard Regional Transit District

GP 2.3: Expand the Capitol Heights Local Transit Center Boundary southward to include properties fronting Southern Avenue listed in ZC 24 of the SMA.

GP 2.4: Expand the Addison Road-Seat Pleasant Local Transit Center Boundary eastward to include properties fronting Central Avenue listed in ZC 40, ZC 41, ZC 42, and ZC 43 of the SMA.

Source: Prince George’s County Planning Department, GIS Open Data Portal, 2025, https://gisdata.pgplanning.org/opendata/. Note: Full data citation available in Appendix K: Map Citations

Section III: Focus Areas

This sector plan identifies five strategic focus areas aimed at guiding development and investment:

1. Morgan Boulevard Regional Transit District

2. Capitol Heights Local Transit Center

3. Addison Road Local Transit Center

4. Summerfield Town Center

5. Martin Luther King Jr Highway - Neighborhood Retail Focus Area

The areas surrounding the Metro stations and Summerfield Town Center have been shaped by community-driven visions, guided by market analysis, and urban design visualizations. These conceptual scenarios illustrate potential development paths that align with the plan’s policies and strategies. While not dictating specific projects, the visualizations provide a flexible framework for how growth may unfold, influenced by market dynamics, stakeholder input, and County regulations.

Morgan Boulevard Regional Transit District

VISION

The Morgan Boulevard Regional Transit District is a renowned regional entertainment hub that centers around unique civic amenities and boasts seamless, tree-lined greenways, bikeways, and trails that connect to Downtown Largo and Summerfield Town Center. This captivating multimodal district activates the Morgan Boulevard Metro Station, attracting residents and visitors who value a variety of mobility and amenity options.

The Morgan Boulevard Regional Transit District (Map 8) encompasses approximately 564 acres and functions as a dynamic, multi-purpose hub, integrating transportation, entertainment, and community development. Key components of the district include Victory Promenade, the Villages Apartment Homes, Century Summerfield, and the Prince George’s County Public Safety Complex. Anchoring the district is the Morgan Boulevard Metro Station, located at 300 Garrett Morgan Boulevard, which has served both the Blue and Silver Metrorail Lines since 2004 and 2014, respectively. The station features a multilevel parking garage and provides multimodal connectivity through bus routes to nearby neighborhoods and key destinations

The proposed redevelopment strategy, illustrated in Figure 5, Figure 6, and Figure 7, outlines a bold vision for a walkable, transit-oriented corridor centered around the Metro station. Figure 5 depicts a new main street and greenway/linear park extending from the station to Central Avenue, framed by trees, landscaping, and mixed-use buildings of varying heights that include ground-floor retail and residential units–tallest at the station and tapering down toward Central Avenue. This corridor is designed to enhance the public realm and reinforce the station area as a community

destination. A proposed food hall at the entrance to the redesigned station plaza offers accessible dining options for both residents and commuters.

As shown in Figure 7, the reimagined Metro station plaza becomes a destination, featuring expanded seating, lush landscaping, and vibrant public art. The plaza located a short distance from the new residential development highlighted in Figure 6, also includes plans for a performance amphitheater at its southern edge, creating space for community events and cultural programming.

South of MD 214 (Central Avenue), a commercial and light-industrial area marked by underutilized parcels offers significant opportunities for adaptive reuse and strategic reinvestment. Mixed-use development could extend northwest into Hill Road Park, creating an active, transit-oriented setting around the station. This expansion would support the Central Avenue Connector Trail as it follows the rail right-of-way (ROW), while balancing the need to protect regulated environmental features.

Looking ahead, the Transit District is positioned for significant, inclusive growth. Plans call for a vibrant, mixed-use, transit-oriented development that weaves together housing, retail, and recreation to support a sustainable and equitable urban environment. As shown in Figure 4, the Metro station has already catalyzed residential development to the north and east. Meanwhile, open land to the south and west presents new possibilities for innovative land use, including controlled-environment agriculture and additional mixed-use expansion.

Figure 4. Morgan Boulevard Metro Station
PHOTO: M-NCPPC

Source: Prince George’s County Planning Department, GIS Open Data Portal, 2025, https://gisdata.pgplanning.org/opendata/ Note: Full data citation available in Appendix K: Map Citations

Map 8. Morgan Boulevard Regional Transit District

ILLUSTRATION BY STANTEC - FOR ILLUSTRATIVE PURPOSES ONLY

ILLUSTRATION BY STANTEC - FOR ILLUSTRATIVE PURPOSES ONLY

Figure 5. Morgan Boulevard Development Scenario
Figure 6. Aerial View of the Morgan Boulevard Development Scenario

Existing Conditions Development Scenario

MORGAN BOULEVARD – POLICIES AND STRATEGIES

Table 2 outlines policies specific to this focus area, designed to support the plan’s overall vision and its associated plan elements. Each policy is linked to actionable strategies and identifies the responsible agency or governing body within the corresponding Plan Element

Table 2. Morgan Boulevard Regional Transit District Policies and Strategies

Land Use

Economic Prosperity

Transportation and Mobility

Natural Environment

Housing and Neighborhoods

EP 6

TM 18

NE 10Policy NE 10

HN 12

Community Heritage, Culture, and Design Policy HD 7

Healthy Communities Policy HC 13

Public Facilities

Policy PF 14, Policy PF 15

Figure 7. Street Level View of the Morgan Boulevard Development Scenario
ILLUSTRATION

Capitol Heights Local Transit Center

VISION

The vision for the Capitol Heights Local Transit Center, is of a safe, walkable, and bikeable urban neighborhood that feels like a small town with a variety of housing options, neighborhoodserving retail, healthy food retailers, increased tree canopy and green spaces, and communityserving amenities and gathering spaces. Capitol Heights Boulevard is an inviting street, where residents and visitors can walk and bike in safety and comfort between the Capitol Heights Metro Station and a revitalized business district on Old Central Avenue.

Figure 8. Capitol Heights Metro Station
PHOTO: M-MCPPC

The Capitol Heights Local Transit Center holds significant potential for revitalization because of its strategic location near the District of Columbia and its presence primarily within the Town of Capitol Heights. As illustrated in Map 9, the area encompasses approximately 177 acres and is currently characterized by low-density residential development. Although the Metro station has been operational since 1980, growth in the surrounding area has been modest, resulting in numerous underutilized parcels that present opportunities for redevelopment into housing, retail, and civic uses

Targeted infill development envisions 6- to 7-story mixed-use buildings that integrate residential units with ground-floor retail on vacant sites located between East Capitol Street and Old Central Avenue (Figure 10). These higher-density structures will gradually step down to 3- to 4-story buildings and townhouses near adjacent single-family neighborhoods. Over time, existing residential parcels may transition into duplexes, triplexes, or garden apartments, contributing to a diverse range of housing options.

Mixed-use development will be focused along the area’s two primary corridors, framing the Capitol Heights Metro Station and supporting a more walkable, transit-oriented community. This approach is designed to generate foot traffic and guide the area’s transformation into a vibrant urban village centered on transit accessibility.

As shown in Figure 9, the existing street grid will remain largely intact, with the addition of a new connector road linking Southern Avenue and Chamber Avenue to improve local mobility. Streetscape upgrades feature improved pedestrian and bicycle infrastructure to encourage safe, multimodal transportation. The Central Avenue Connector Trail will further reinforce east-west connectivity.

Watts Branch serves as an ecological centerpiece of the plan. The stream could be restored along Capitol Heights Boulevard and Chamber Avenue to establish a linear park or greenway that links to Old Central Avenue. This project would promote ecological restoration while encouraging active transportation and green space expansion near the station.

OLD CENTRAL AVENUE

Old Central Avenue is a vital corridor within the Capitol Heights Local Transit Center, extending eastward from Southern Avenue SE (the County line) to Sultan Avenue/Suffolk Avenue. The area features a mix of residential, commercial, and institutional properties. Vacant lots, underutilized sites, and existing buildings offer significant opportunities for revitalization, with the potential to create a neighborhood-focused center anchored by Capitol Heights Town Hall and public plazas.

One key site for future transformation includes the 2-acre United States Postal Service (USPS) property at 6089 Old Central Avenue, which could become available for redevelopment.

The reimagined corridor (Figure 11) could support 3- to 4-story buildings with ground-floor retail and services, boosting accessibility and commercial vitality. Townhouses could provide a transition from mid-rise buildings to adjacent two-story homes, maintaining neighborhood character while supporting reinvestment.

Source: Prince George’s County Planning Department, GIS Open Data Portal, 2025, https://gisdata.pgplanning.org/opendata/ Note: Full data citation available in Appendix K: Map Citations

Map 9. Capitol Heights Local Transit Center

ILLUSTRATION BY STANTEC - FOR ILLUSTRATIVE PURPOSES ONLY

ILLUSTRATION BY STANTEC - FOR ILLUSTRATIVE PURPOSES ONLY

Figure 9. Capitol Heights Development Scenario
Figure 10. Aerial View of the Capitol Heights Development Scenario

Existing Conditions Development Scenario

CAPITOL HEIGHTS LOCAL TRANSIT CENTER - POLICIES AND STRATEGIES

Table 3 outlines policies specific to this focus area, designed to support the plan’s overall vision and its associated plan elements. Each policy is linked to actionable strategies and identifies the responsible agency or governing body within the corresponding Plan Element.

Table 3. Capitol Heights Local Transit Center Policies and Strategies

Land Use

Economic Prosperity

Transportation and Mobility

Natural Environment Policy NE 11

Housing and Neighborhoods Policy HN 13, Policy HN 14

Community Heritage, Culture, and Design Policy HD 8, Policy HD 9

Healthy Communities Policy HC 14

Public Facilities

Policy PF 16, Policy PF 17

Figure 11. Street Level View of the Capitol Heights Development Scenario
ILLUSTRATION BY STANTEC

Addison Road Local Transit Center

VISION

The vision for the Addison Road Local Transit Center, is of a safe, walkable, and bikeable neighborhood with a quality mix of housing and amenities including local shops, healthy food retailers, restaurants, community gathering spaces, public art, and accessible green space. Regionally known for its great diversity of dining and shopping options, Addison Road-Seat Pleasant is a popular destination for locals as well as visitors from the metropolitan area. Addison Road is an inviting street, where residents and visitors can walk and bike in safety and comfort between a revitalized business district on MD 704 (Martin Luther King Jr Highway) to the Metro station and destinations south to Walker Mill Road.

The Addison Road Local Transit Center spans approximately 237 acres and offers a significant opportunity for revitalization, supported by its strategic location near the District of Columbia and the City of Seat Pleasant (Map 10). Although the Addison Road Metro Station has been in operation since 1980, development in the surrounding area has remained limited. As a result, numerous vacant and underutilized parcels present strong potential for transformation into a vibrant mixed-use district featuring neighborhoodserving retail, access to healthy food, community gathering spaces, and public art.

As shown in Figure 13, Figure 14, and Figure 15, the proposed development scenario concentrates new multi-story buildings northwest of the Metro Station, particularly along Central Avenue and the Addison Plaza Shopping Center. These developments include 6- to 7-story mixed-use buildings with ground-floor retail and upper-level residential units. Streetscape improvements such as seating areas, street furniture, and pedestrian-friendly design elements encourage walkability and help create an inviting atmosphere along Central Avenue.

To ensure compatibility with nearby residential areas, building heights are stepped down gradually from the tallest structures near the station and major intersections to townhouses and low-rise buildings closer to single-family homes. Over time, existing single-family lots could evolve into duplexes, triplexes, garden apartments, or other context-sensitive multifamily housing that supports a diverse and inclusive community. In addition, environmental remediation of the brownfield site near the station will help determine the highest and best use of this property.

Central Avenue, Old Central Avenue, and Addison Road are redesigned as complete streets, providing safe infrastructure for pedestrians, cyclists, and motorists. These improvements enhance local connectivity and contribute to a vibrant and active public realm. The Central Avenue Connector Trail will continue to strengthen east–west regional connections and promote multimodal transportation across the area.

Figure 12. Addison Road-Seat Pleasant Metro Station
PHOTO: M-NCPPC

10. Addison Road Local Transit Center

Source: Prince George’s County Planning Department, GIS Open Data Portal, 2025, https://gisdata.pgplanning.org/opendata/ Note: Full data citation available in Appendix K: Map Citations

Map

ILLUSTRATION BY STANTEC - FOR ILLUSTRATIVE PURPOSES ONLY

ILLUSTRATION BY STANTEC - FOR ILLUSTRATIVE PURPOSES ONLY

Figure 13. Addison Road Development Scenario
Figure 14. Aerial View of the Addison Road Development Scenario

Existing Conditions

ADDISON ROAD – CROSS-REFERENCES

Development Scenario

ILLUSTRATION BY STANTEC - FOR ILLUSTRATIVE PURPOSES ONLY

Table 4 outlines policies specific to this focus area, designed to support the plan’s overall vision and its associated plan elements. Each policy is linked to actionable strategies and identifies the responsible agency or governing body within the corresponding Plan Element.

Table 4. Addison Road Local Transit Center – Cross References

Plan Element

Land Use

Economic Prosperity

Transportation and Mobility

Natural Environment

Housing and Neighborhoods

Strategy Cross-Reference

Policy LU 13, Policy LU 14

Policy EP 9, Policy EP 10

Policy TM 22

Policy NE 12

Policy HN 15

Community Heritage, Culture, and Design Policy HD 10

Healthy Communities N/A

Public Facilities

Policy PF 18

Figure 15. Street Level View of the Addison Road Development Scenario

Summerfield Town Center

VISION

The Summerfield Town Center is a transit-accessible destination featuring state-of-the-art sports facilities that nurture the physical, emotional, and social wellbeing of residents and visitors. Through a balanced mix of housing and small-scale retail complementing its wellness-focused environment, the Town Center intertwines culture, sports, and community. Multimodal connections link the Town Center to the Morgan Boulevard Regional Transit District and neighboring areas, positioning it as a premier destination for fostering a healthy, active lifestyle.

The Summerfield Town Center spans approximately 281 acres and serves as a regional destination for entertainment, sports, and community wellness (Map 11). Anchored by the Northwest Stadium (formerly FedExField), the site currently hosts major concerts, sporting events, and home games for the Washington Commanders. While the team is under contract to remain at the stadium through 2027, with options to extend or relocate, Prince George’s County, the District of Columbia, and Virginia are all actively pursuing a long-term agreement. As a result, the future of the stadium at this site remains uncertain.

Two potential redevelopment scenarios are under consideration. In Scenario 1, the Washington Commanders remain at the location, and the site transforms into a dense, mixed-use sports and entertainment district built around a new stadium. The vision emphasizes walkability and connectivity, with a fine-grained street grid, short blocks, and ground-floor activity to activate the public realm. A pedestrian-only “game-day promenade” would serve as the district’s centerpiece, linking the stadium with surrounding retail, dining, and public gathering spaces. Enhancements such as team-themed wayfinding signs, public art, and street furniture would enrich the visitor experience (see Figure 18 and Figure 19).

Currently, the site is dominated by extensive surface parking, but its proximity to the Summerfield neighborhood makes it a strong candidate for a more integrated, community-focused design. Scenario 1 envisions a reimagined central plaza extending from Garrett A. Morgan Boulevard to Sean Taylor Road. This promenade (Figure 17) features landscaping, pedestrian-scale lighting, seating, and public art installations. A centralized green open space provides essential recreational areas for future residents. Streets, trails, and buildings are thoughtfully arranged to create scenic views and inviting public spaces throughout the district.

Figure 16. Northwest Stadium
PHOTO: M-NCPPC

Nearby, the Prince George’s Sports and Learning Complex offers year-round recreational and educational programming, further enhancing the area's appeal for families, youth, and individuals of all ages.

Summerfield Town Center Case Study

Titletown District:

Adjacent to Lambeau Field in Green Bay, Wisconsin, the Titletown District is a mixed-use development designed to complement the iconic stadium and drive year-round economic activity. Opened in 2017 and spearheaded by the Green Bay Packers organization, the district features a public park, a tubing hill, outdoor event spaces, restaurants, a hotel, office space, and residential units. Titletown has become a regional destination for sports, entertainment, and recreation, attracting visitors beyond game days and significantly boosting local businesses and tourism. The project exemplifies how integrating sports facilities with mixed-use development can create a vibrant, sustainable economic hub.

https://www.titletown.com/

Figure 17. Street Level View of the Summerfield Town Center Development Scenarios

Existing Conditions

Development Scenario #1

Development Scenario #2

11. Summerfield Town Center

Source: Prince George’s County Planning Department, GIS Open Data Portal, 2025, https://gisdata.pgplanning.org/opendata/ Note: Full data citation available in Appendix K: Map Citations

Map

ILLUSTRATION BY STANTEC - FOR ILLUSTRATIVE PURPOSES ONLY

ILLUSTRATION BY STANTEC - FOR ILLUSTRATIVE PURPOSES ONLY

Figure 18. Summerfield Town Center Development Scenario #1
Figure 19. Aerial View of the Summerfield Town Center Development Scenario #1

Scenario 2 envisions the relocation of the Washington Commanders, redirecting the future of Summerfield Town Center toward a vibrant, community-centered destination focused on health, wellness, and recreation. Without a major stadium, the site would be comprehensively redeveloped to include amateur sports facilities, resident and visitor housing, and yearround recreation programs.

As shown in Figure 20 and Figure 21, this concept proposes the demolition of the existing Northwest Stadium and the construction of a regional recreation complex with indoor and outdoor amenities. This new development serves as a hub for wellness and amateur athletics, fostering a dynamic identity grounded in community activation and health-focused uses.

A circular plaza, located at the center of the plan, is a defining placemaking feature. The surrounding area includes ground-floor retail, dining options, hotels, and wellness-oriented services. Together, these elements support a lively public space ideal for gatherings, events, and everyday social interaction.

Summerfield Town Center Case Study: A Vision for a Multi-Sport Destination

The ESPN Wide World of Sports Complex at Walt Disney World Resort in Florida serves as a nationally recognized example of how a multi-sport facility can drive economic development and community engagement. Covering 220 acres and supporting more than 60 sports, the complex has hosted major events such as the NBA Bubble and the Special Olympics USA Games. Its success comes from combining high-quality athletic venues with entertainment, hospitality, and tourism infrastructure. Prince George’s County has an opportunity to apply this model to the Summerfield Town Center site by creating a sports complex that builds on the County’s location, diverse population, and strong sports culture. With nearby access to Metro stations and proximity to Washington, D.C., the site is well positioned to attract national events, support local businesses, and offer year-round programming for athletes, families, and visitors. This approach could transform the area into a vibrant destination for recreation, commerce, and regional pride.

To the north, multifamily residential buildings anchor the recreational core, gradually transitioning to townhouses and mixed-use buildings near the site’s edges to maintain compatibility with adjacent neighborhoods. Around the perimeter, a variety of recreational attractions, such as go-kart tracks, BMX trails, sand volleyball courts, and pickleball facilities, provide year-round excitement and cater to residents and visitors of all ages.

As in Scenario 1, the Prince George’s Sports and Learning Complex remains an essential community asset, offering fitness and educational programming that strengthens the area’s role as a hub for active and inclusive lifestyles.

BY STANTEC - FOR ILLUSTRATIVE PURPOSES ONLY

ILLUSTRATION BY STANTEC - FOR ILLUSTRATIVE PURPOSES ONLY

Figure 20. Summerfield Town Center Development Scenario #2
ILLUSTRATION
Figure 21. Aerial View of the Summerfield Town Center Development Scenario #2

SUMMERFIELD TOWN CENTER – CROSS-REFERENCES

Table 5 outlines policies specific to this focus area, designed to support the plan’s overall vision and its associated plan elements. Each policy is linked to actionable strategies and identifies the responsible agency or governing body within the corresponding Plan Element.

Table 5. Summerfield Town Center – Cross-References

Plan Element

Land Use

Economic Prosperity

Transportation and Mobility

Natural Environment

Housing and Neighborhoods

Community Heritage, Culture, and Design

Healthy Communities

Public Facilities

Strategy Cross-Reference

Policy LU 15

Policy EP 11

Policy TM 23, Policy TM 24

Policy NE 14, Policy NE 15

Policy HN 16

Policy HD 11, Policy HD 12

Policy HC 15, Policy HC 160

Policy PF 19, Policy PF 2000

Martin Luther King Jr Highway - Neighborhood Retail Focus Area

The Martin Luther King Jr Highway (MD 704) Neighborhood Retail Focus Area, as shown in Map 12, extends northeast from Eastern Avenue NE, the boundary with Prince George’s County, along MD 704 to 69th Place. This quarter-mile section of the corridor, spanning approximately 44 acres, is a four-lane roadway maintained by the Maryland State Highway Administration. It consists of a patchwork of residential, commercial, and institutional properties on both sides of the corridor, with many parcels remaining vacant, underutilized, or disconnected from cohesive development.

This corridor (Figure 22) presents a compelling opportunity for reinvestment and transformation into a vibrant, pedestrian-friendly destination. Redevelopment should prioritize repositioning buildings closer to the street to enhance the public realm and foster active street life. To reinforce local identity and celebrate cultural heritage, the plan encourages collaboration with local artists and nonprofit organizations to install public art and highlight culturally significant landmarks throughout the corridor.

The proposed development framework includes 3- to 4-story buildings with ground-floor retail and services designed to create an accessible, lively streetscape. Townhouses serve as a transitional buffer between mid-rise buildings and existing two-story single-family homes (Figure 23), ensuring appropriate scale and neighborhood cohesion.

Figure 22. Martin Luther King Jr Highway
PHOTO: M-NCPPC

A series of pocket parks and public plazas are integrated throughout the area to provide green spaces for recreation, informal gatherings, and community events. Tree-lined sidewalks, pedestrian lighting, and additional streetscape enhancements elevate the walking experience, contributing to a connected, culturally vibrant, and people-centered corridor. The planned extension of the Washington, Baltimore & Annapolis (WB&A) Trail along MD 704 will further strengthen regional connectivity throughout Prince George’s County and into Washington, D.C.

Figure 23. Martin Luther King Jr Highway - Neighborhood Retail Development Scenario

Source: Prince George’s County Planning Department, GIS Open Data Portal, 2025, https://gisdata.pgplanning.org/opendata/. Note: Full data citation available in Appendix K: Map Citations

Map 12. Martin Luther King Jr Highway Neighborhood Retail Focus Area

MARTIN LUTHER KING JR HIGHWAY NEIGHBORHOOD RETAIL FOCUS AREA – CROSSREFERENCES

Table 6 outlines policies specific to this focus area, designed to support the plan’s overall vision and its associated plan elements. Each policy is linked to actionable strategies and identifies the responsible agency or governing body within the corresponding Plan Element.

Table 6. Martin Luther King Jr Highway Neighborhood Retail Focus Area Cross-References

Land Use Policy LU 16

Economic Prosperity Policy EP 13

Transportation and Mobility Policy TM 26

Natural Environment Policy NE 18

Housing and Neighborhoods Policy HN 18

Community Heritage, Culture, and Design Policy HD 13

Healthy Communities N/A

Public Facilities Policy PF 21

Section IV: Land Use

* See the How to Use this Plan Section for how each element chapter is organized.

PLAN 2035 LAND USE GOAL

Direct future growth toward transit-oriented, mixed-use centers in order to expand our commercial tax base, capitalize on existing and planned infrastructure investments and preserve agricultural and environmental resources.

SECTOR PLAN LAND USE GOAL

Create a vibrant, walkable, safe, and healthy environment that supports living, working, recreation, and a thriving retail sector that meets residents' daily needs. Preserve the residential character of established communities while directing most new housing to transit-oriented hubs and transitrich corridors. Prioritize the redevelopment and activation of vacant, dilapidated, and underutilized properties throughout the plan area.

Land Use: Key Topics

• Community Preservation and Growth

• Redevelopment and Revitalization

• Transit-Oriented Development (TOD)

• Equity and Inclusive Planning

• Mixed-Use Corridors and Activity Centers

• Sustainability & Resilience

Land Use: Key Questions

• How can transit-oriented development (TOD) maximize accessibility while preserving neighborhood character?

• What strategies will best accelerate the redevelopment of vacant and underutilized properties to strengthen community vitality?

Figure 24. Vacant Lots in Capitol Heights
PHOTO: M-NCPPC

Existing Conditions

Single-family homes are concentrated near the Capitol Heights and Addison RoadSeat Pleasant Metro Stations

Redevelopment opportunities

4,002 total acres + 2% TownhouseAttached

Land Uses

44 2+ 9924+ 4

Zoning Composition Residential, Single-Family –65 (RSF-65)

Small-lot,

10 1211

Integrates industry, housing, and green space with high-quality design

Reserved Open Space (ROS) Preserves environmental lands, protects ecological heritage Commercial, General, and Office (CGO)

Diverse retail, business, civic, and mixed-use development

Source: Prince George’s County Planning Department, GIS Open Data Portal

Prince George’s County Planning Department

Source: Prince George’s County Planning Department, GIS Open Data Portal, 2025, https://gisdata.pgplanning.org/opendata/. Note: Full data citation available in Appendix K: Map Citations Map 13. Existing Land Use

Map 14. Existing Zoning

Source: Prince George’s County Planning Department, GIS Open Data Portal, 2025, https://gisdata.pgplanning.org/opendata/. Note: Full data citation available in Appendix K: Map Citations.

OPPORTUNITIES AND CHALLENGES*

OPPORTUNITIES

Strategic Location

Proximity to Washington, D.C., Metro stations, and the stadium property make the area attractive for residents, businesses, and investment. Ongoing County investments near the Morgan Boulevard Metro Station create opportunities for expanded housing and recreation options.

Transit-Oriented Development (TOD)

Metro access supports higher-density, mixed-use development that enhances walkability and connectivity. Implementing TOD strategies can improve accessibility, strengthen the local economy, and promote sustainable growth.

Vacant Properties Redevelopment

Underutilized properties, particularly in Capitol Heights, offer revitalization and economic development potential. Tools like land banking, tax incentives, and streamlined permitting can accelerate redevelopment efforts.

Mixed-Income Housing Opportunities

Expanding mixed-income housing increases affordability while fostering economic and social diversity. Policies that support inclusionary zoning and density bonuses can integrate affordable housing into new developments.

Commercial Corridor Revitalization

Reinvesting in corridors like Martin Luther King Jr Highway and Old Central Avenue can enhance walkability, attract businesses, and improve neighborhood vibrancy. The Central Avenue corridor’s role as a key arterial presents opportunities for new mixed-use hubs and catalytic projects.

CHALLENGES

Infrastructure Limitations

Upgrading infrastructure and expanding alternative transportation options are essential to support higher-density development and reduce congestion. Limited funding and coordination challenges could delay critical transit, utility, and road improvements.

Zoning and Regulatory Barriers

Existing zoning regulations and procedural uncertainties complicate the approval process for TOD projects and innovative housing types. Addressing these barriers can facilitate development and attract investment.

*See sources in Major Opportunities and Challenges Section

Fragmented Land Ownership

Varied property ownership makes land assembly and large-scale redevelopment difficult, especially near Metro stations. Incentives for land consolidation and strategic collaboration can help overcome these challenges.

Housing Affordability and Equity

Balancing mixed-income housing development with concerns about displacement and equitable access is crucial. Policies that integrate affordable housing within market-rate projects can enhance inclusivity and mitigate gentrification risks.

Stakeholder Alignment and Engagement

Aligning priorities among residents, developers, and local government can be complex. Transparent, inclusive engagement processes are essential to building trust and securing support for land use decisions.

Future Land Use

Table 7. Future Land Use Categories

Color Designation

Mixed-Use

Neighborhood MixedUse

Description

Areas of various residential, commercial, employment, and institutional uses. Residential uses may include a range of unit types. Mixed-use areas may vary with respect to their dominant land uses, i.e., commercial uses may dominate in one mixed-use area, whereas residential uses may dominate in another. Large-scale mixed-use development should be limited to designated Centers and other areas where it currently exists.

Density (Dwelling Units Per Acre)

Based on Center

Traditional retail/shopping areas that are transitioning to a mix of residential, shopping, eating, and drinking, and other neighborhood-serving amenities. Neighborhood Mixed-Use areas are located outside of designated Centers, often along arterial roadways and at key intersections and interchanges. (</=48)

Commercial Retail and business areas, including employment uses, such as office and services. A range of services are provided at the neighborhood to regional level. New commercial areas have access to multimodal transportation options. These areas are intended to remain predominantly or entirely commercial.

Industrial/Employment Manufacturing and industrial parks, warehouses, and distribution. May include other employment, such as office and services.

Institutional Uses such as military installations, hospitals, sewage treatment plants, and schools.

N/A

N/A

N/A

Residential High Residential areas exceeding 20 dwelling units per acre. Mix of dwelling unit types, including apartments (>20)

Residential MediumHigh

Residential Medium

Residential Low

Rural and Agricultural

Residential areas between eight and 20 dwelling units per acre. Mix of dwelling unit types, including apartments.

Residential areas between 3.5 and 8 dwelling units per acre. Primarily single-family dwellings (detached and attached).

Residential areas up to 3.5 dwelling units per acre. Primarily single-family detached dwellings.

Low-density residential uses with areas of agricultural and forestry production. Agricultural land (cropland, pasture, farm fields), forest, and very low-density residential.

Parks and Open Space Parks and recreation areas, publicly owned open space (federal, state, county, municipal, and M-NCPPC), and privately owned open space.

(> 8 and </= 20)

(> 3.5 and </= 8)

(> 0.5 and </= 3.5)

(</= 0.5)

N/A

FUTURE LAND USE RECOMMENDATIONS

The Future Land Use Map (Map 15) provides detailed land use recommendations for every parcel within the Central Avenue-Blue/Silver Line area. If there is a conflict between the strategy text and a future land use designation, the strategy will take precedence over the map's recommendations. It's important to note that the Future Land Use Map does not replace the County Zoning Map. Implementing these recommendations may require a zoning reclassification through the concurrent Sectional Map Amendment (SMA) process.

Map 15. Future Land Use Map

Source: Prince George’s County Planning Department, GIS Open Data Portal, 2025, https://gisdata.pgplanning.org/opendata/. Note: Full data citation available in Appendix K: Map Citations

Policies and Strategies

AREAWIDE

Policy LU 1. Preserve the character of Established Communities while supporting sustainable growth and accessibility.

LU 1.1: Direct higher-density development to the Plan 2035 Centers within the plan area.

LU 1.2: Encourage the construction of multifamily housing, townhomes, and accessory dwelling units (ADUs) that complement neighborhood design.

LU 1.3: Redevelop underutilized commercial parking lots into mixed-use developments with housing, retail, and public amenities.

Relevant policies: Policy TM 16, Policy NE 10, Policy HN 2, Policy HN 4, Policy HN 5, Policy HN 9, Policy HN 15, and Policy HD 8.

Policy LU 2. Maximize the potential for transit-oriented development within walking distance of Metro stations to foster compact, accessible, and diverse communities.

LU 2.1: Provide financial tools such as grants and subsidies to incentivize redevelopment.

LU 2.2: Use the Expedited Transit-Oriented Development Application 22 for qualifying projects.

LU 2.3: Promote the tax benefits offered through the Opportunity Zone program to attract potential developers.

LU 2.4: Establish a proactive land assembly program focused on Metro station areas. Below is a list of resources on assembling parcels:

i) The Added Value of Assembling Parcels 23

ii) Assemblage in Real Estate 24

iii) Benefits of a Land Assembly 25

Relevant Policies: Policy TM 3, Policy TM 16, Policy NE 1, Policy HN 1, and Policy HN 12

PARCEL ASSEMBLAGE

Assemblage enhances site planning flexibility, enabling the use of constrained land for required parking and landscaping while optimizing the remaining developable area for greater building floor space. Rather than one parcel having limited development potential and others retaining normal capacity, assemblage allows all combined parcels to be developed more extensively.

Parcel acreage significantly influences potential land uses and development intensities. Generally, larger acreage permits more varied and intensive uses, as allowed by local jurisdictions, often leading to increased market value. Consequently, assembling parcels to expand acreage can unlock valuable opportunities.

22 https://www.pgplanning.org/development-process/applications/application-types/expedited-transit-oriented-developmentapplicationenvironmental-applications/

23 https://eweb.irwaonline.org/eweb/upload/web_mar_apr12_AssemblingParcels.pdf

24 https://www.bellhaven.org/learn/Assemblage

25 https://flre.ca/insights/benefits-of-a-land-assembly/

Policy LU 3. Redevelop vacant and underutilized properties to provide housing choices, public amenities, connectivity, and neighborhood-serving services.

LU 3.1: Establish a GIS-based inventory to identify and track vacant properties with redevelopment potential.

LU 3.2: Enforce the Vacant Property Registration Program (Subtitle 13, Division 14A of the County Code) with tax incentives for reinvestment, as allowed by State law. See Sections 6202.1 and 6-302 of the Tax-Property Article of the Maryland Code (Maryland House Bill 2 (2024)) 26

LU 3.3: Rezone and repurpose underutilized industrial areas for housing and small-scale businesses. See Zoning Changes 46, 47, 48, 49, 50, 51, and 61 in the SMA for properties subject to rezoning.

LU 3.4: Provide financial incentives such as grants, loans, and tax breaks to incentivize redevelopment. See Economic Incentive Designations and Programs on pages 99-103

26 https://mgaleg.maryland.gov/mgawebsite/Legislation/Details/HB0002?ys=2024RS

Figure 25. Vacant Lot Along Southern Avenue Across the Washington, D.C. Boundary Line
PHOTO: M-NCPPC

LU 3.5: Work with the Land Bank Authority of Prince George’s County (see Subtitle 13, Division 16 of the Prince George’s County Code CB-065-2024 27) and stakeholders to consolidate vacant properties for community-led redevelopment.

LU 3.6: Incorporate the Central Avenue Connector Trail (CACT) into development projects.

LU 3.7: Convert undersized vacant lots into pocket parks, gardens, or community gathering spaces.

LU 3.8: Use tax increment financing (TIF) to upgrade infrastructure and improve public amenities.

LU 3.9: Ensure Planned Development 28 (PD) applications prioritize community benefits, to include:

i)Affordable housing

ii)Active transportation infrastructure

iii)Cultural amenities

iv)Environmental restoration.

Relevant Policies: Policy EP 1, Policy TM 1, Policy TM 5, Policy NE 4, Policy HN 1, Policy HN 2, Policy HC 5, Policy HC 6, and Policy HC 11

Policy LU 4. Strengthen the preservation of natural and environmentally sensitive features within the sector plan area.

LU 4.1: Preserve and enhance Parks and Open Space on M-NCPPC-owned and other environmentally sensitive public lands by maintaining existing Reserved Open Space (ROS) properties and reclassifying additional sites for conservation.

Relevant Policies: Policy NE 1 and Policy PF 2

Policy LU 5. Advance equity, inclusivity, and collaboration in land use and development to ensure all communities benefit from growth and investment.

LU 5.1: Strengthen engagement in underserved communities through Equity Advisory Boards and inclusive resident participation.

LU 5.2: Encourage affordable housing provisions and Community Benefits Agreements (CBAs) to ensure infrastructure investments support existing residents.

LU 5.3: The Town of Capitol Heights, City of Seat Pleasant, and local non-profits collaborate with developers and property owners to advance transit-oriented development and neighborhood improvements. Municipal councils, mayors, and staff help refine proposals prior to submission to the Planning Department to ensure alignment with community priorities and regulatory standards.

27 https://princegeorgescountymd.legistar.com/LegislationDetail.aspx?ID=6853082&GUID=0001B4B2-C002-4FBC-AF8C622F796163CA

28 https://online.encodeplus.com/regs/princegeorgescounty-md/doc-viewer.aspx?tocid=002.004.003.001#secid-639

LU 5.4: Establish a sector plan implementation non-profit to collaboratively manage funding, oversee projects, and organize community events that foster long-term engagement.

LU 5.5: Work with neighboring jurisdictions to align development strategies along transportation corridors through coordinated planning efforts.

LU 5.6: Share mapping data and funding resources across jurisdictions to support collaborative projects that enhance accessibility and equity.

Relevant Policies: Policy EP 2, Policy EP 4, and HN 2

FOCUS AREAS

Policy LU 6. Maximize development near Metro stations to advance high-density transitoriented development (TOD).

LU 6.1: Assemble vacant or underutilized properties near Metro stations for TOD projects. See the Focus Areas for identified properties recommended for assemblage.

LU 6.2: Coordinate with WMATA, MDOT SHA, municipalities (Capitol Heights and Seat Pleasant), and stakeholders to align redevelopment efforts.

LU 6.3: Leverage Transfer of Development Rights (TDR) to focus growth and density in the focus areas (receiving areas), while preserving open space and accelerating delivery of public benefits such as parks and affordable housing.

LU 6.4: Expand housing diversity near Metro stations with duplexes, triplexes, mid-rise buildings, and other medium-intensity options.

Relevant Policies: Policy TM 15, Policy HN 11, and Policy HD 5

Policy LU 7. Use available public spaces to provide access to essential resources.

LU 7.1: Activate public spaces near Metro stations with placemaking, public art, and cultural programming.

LU 7.2: Expand food accessibility in TOD areas by incentivizing grocery stores, farmers’ markets, and cafés through tax benefits and business grants.

LU 7.3: Support urban agriculture by funding rooftop gardens, hydroponic farms, food forests, streamlining permits, and partnering with food security organizations.

LU 7.4: Work with local businesses to provide pop-up markets, outdoor seating, and events, simplifying vendor licensing and providing marketing support.

Figure 26. TOD Example
PHOTO: M-NCPPC

Relevant Policies: Policy EP 4, Policy HD 2, Policy HD 5, Policy HC 1, Policy HC 2, and Policy HC 4

MORGAN BOULEVARD REGIONAL TRANSIT DISTRICT

Policy LU 8. Establish Morgan Boulevard as a premier transit-oriented hub and community destination.

LU 8.1: Rezone properties to the Regional Transit Oriented Low-Intensity - Core (RTO-L-C) and Edge (RTO-L-E) Zones to enable high-density, mixed-use development. See the Morgan Boulevard Regional Transit District Zoning Changes 1-14 in the SMA for properties subject to rezoning

LU 8.2: Develop high-density TOD on properties in the RTO-L-C Zone.

LU 8.3: Develop moderate to high-density mixed-use in the RTO-L-E Zones.

LU 8.4: Assemble vacant and underutilized parcels (Table 8) surrounding the Metro station to create development-ready sites, leveraging public-private partnerships and districtspecific incentives for investment.

Table 8. Properties Subject to LU 8.4

Address Tax ID

7915 Anchor St 1992460

Central Ave 2035038

Central Ave 3428463

8104 Central Ave 2071413

310 Garrett A Morgan Blvd 3434446

8118 Central Ave 2034700

8118 Central Ave 2034692

8200 Central Ave 3377041

8302 Central Ave 2084085

Central Ave 2071421

8300 Central Ave 2084135

100 Garrett A Morgan Blvd 2001089

Garrett A Morgan Blvd 3723970

300 Garrett A Morgan Blvd 3513280

LU 8.5: Collaborate with the County Executive’s Office to fast-track projects like the proposed amphitheater and market/food hall, as part of a mixed-use destination that strengthens community engagement and aligns with regional transportation goals.

LU 8.6: Use the urban design visualizations (see Figure 5, Figure 6, Figure 7 in Focus Areas) to guide planning and stakeholder engagement, illustrating TOD layouts, pedestrian-friendly designs, and key destination features.

Relevant Policies: Policy LU 2, Policy EP 6, Policy HN 12, Policy HD 6, Policy HC 13, and Policy PF 15

CAPITOL HEIGHTS LOCAL TRANSIT CENTER

Policy LU 9. Encourage higher-density transit-oriented development (TOD) around the Metro station with careful transitions to adjacent neighborhoods to promote balanced growth and preserve community character.

LU 9.1: Rezone properties to the Local Transit-Oriented - Core and Edge (LTO-C, LTO-E) Zones. See the Capitol Heights Local Transit Center Zoning Changes 15, 16, 17, 18, 21, 23, 24, 25, and 26 in the SMA for properties subject to rezoning.

i) Develop high-density TOD on properties in the LTO-C Zone.

ii) Develop moderate density TOD on properties in the LTO-E Zone.

LU 9.2: Rezone properties to the Residential Single-Family Attached (RSF-A) Zone See the Capitol Heights Local Transit Center Zoning Changes 19 and 22 in the SMA for properties subject to rezoning

LU 9.3: Develop visual materials that illustrate seamless integration between new projects and the existing streetscape, ensuring consistency with Capitol Heights’ identity.

Relevant Policies: Policy EP 2, Policy HN 13, Policy HD 1, Policy HD 6, and Policy HD 8

Policy LU 10. Re-naturalize the channelized stream and create a community-centered linear park.

LU 10.1: Designate the stream area south of Davey Street and Dole Street as Parks and Open Space and rezone it to Reserved Open Space (ROS). See the Capitol Heights Local Transit Center Zoning Change 20 in the SMA for properties subject to rezoning

LU 10.2: Integrate sustainable features, including native planting, permeable pavement, and stormwater management features to enhance climate resilience and create a recreational space.

LU 10.3: Collaborate with Capitol Heights and the local community to design and activate the park, ensuring it reflects resident needs and fosters engagement.

Relevant Policies: Policy NE 11 and Policy PF 16

OLD CENTRAL AVENUE

Policy LU 11. Transform Old Central Avenue into a neighborhood-centered, mixed-use corridor that functions as a walkable “main street,” supporting economic growth and sustainability.

LU 11.1: Rezone residentially zoned (RSF-65 and RSF-A) properties fronting Old Central Avenue between Southern Avenue and Suffolk Avenue to the LTO-E Zone. See the Capitol Heights Local Transit Center Zoning Changes 24, 25, and 26 in the SMA for properties subject to rezoning.

LU 11.2: Rezone residentially zoned (RSF-65 and RSF-A) properties fronting Old Central Avenue between Suffolk Avenue and Rollins Avenue to the Commercial, Neighborhood (CN) Zone to create a medium-density transition area and revitalize sites with local businesses. See the Capitol Heights Local Transit Center Zoning Changes 27 and 28 in the SMA for properties subject to rezoning.

LU 11.3: Integrate green infrastructure, including tree-lined streets and landscaped sidewalks, to improve walkability and sustainability.

LU 11.4: Explore redevelopment of the USPS distribution center on Old Central Avenue as part of a mixed-use project featuring housing, retail, and cultural space. Assess the feasibility of relocating the facility to better support community growth.

i) As density increases, evaluate relocating the USPS operations and the need for additional retail offices. Where possible, integrate a USPS office into mixed-use development near a Metro station to enhance access and support transit-oriented development.

Relevant Policies: Policy EP 8, Policy TM 21, Policy HN 14, and Policy HD 9

Policy LU 12. Establish community gathering spaces to strengthen neighborhood identity and engagement.

LU 12.1: Transform the intersections of Old Central Avenue at Chamber Avenue and Suffolk Avenue into vibrant public plazas that serve as focal points for community gatherings, cultural programming, and neighborhood identity (see Table 34).

LU 12.2: Design the plaza with flexible seating, landscaping, and vendor kiosks to create an inviting, adaptable public space.

LU 12.3: Connect the plaza to nearby developments and pedestrian infrastructure to ensure accessibility and seamless integration.

LU 12.4: Partner with local artists and organizations to enhance the space with public art and cultural programming, fostering a unique neighborhood identity.

Relevant Policies: Policy TM 21, Policy HD 2, and Policy HD 9

ADDISON

ROAD LOCAL TRANSIT CENTER

Policy LU 13. Promote high-density mixed-use and residential development while ensuring compatibility with adjacent neighborhoods.

LU 13.1: Rezone additional properties to the Local Transit Oriented - Core and Edge (LTO-C, LTO-E) Zones to enable higher-density, pedestrian-friendly mixed-use development. See Zoning Changes 31, 33, and 35-43 in the SMA for properties subject to rezoning

LU 13.2: Develop taller buildings in the LTO-C Zone while incorporating stepped-down, diverse housing in the LTO-E Zone to create smooth transitions to adjacent single-family neighborhoods. Urban design visualizations (see Figure 13, Figure 14, and Figure 15).

LU 13.3: Construct pedestrian and cyclist infrastructure to improve last-mile connectivity between high-density areas, the Metro station, and surrounding neighborhoods.

Relevant Policies: Policy HN 15 and Policy HD 6

Policy LU 14. Remediate and develop the Addison brownfield site into a sustainable, high-quality mixed-use center.

LU 14.1: Encourage developers to use the Zoning Map Amendment (ZMA) process to rezone to the Residential Planned Development (R-PD) or Local Transit-Oriented Planned Development (LTO-PD) Zones.

LU 14.2: Secure federal and state funding, including EPA brownfield grants, to offset remediation costs and accelerate redevelopment.

LU 14.3: Prioritize mixed-use projects incorporating affordable housing, market-rate housing, retail space, workforce training facilities, and public gathering areas featuring placemaking features like landscaped plazas and recreational spaces.

LU 14.4: Ensure environmental resilience by integrating green building certifications, renewable energy systems, and advanced stormwater management solutions.

Relevant Policies: Policy NE 12 and Policy HN 15

ADDISON ROAD BROWNFIELD SITE

Addison Road Brownfield Site (August 1962)

This 23-acre, Class III rubble-fill site is on Addison Road, just south of its intersection with Adel Street within the City of Seat Pleasant. The site was used for dumping during construction of the Metrorail station and line. Inspections have revealed soil contaminants, which led to cleanup efforts. However, additional investigation and cleanup are necessary before any site development can occur. The site was platted in 1995 for a townhouse subdivision; however, the large site, near the Metro station has potential.

SUMMERFIELD TOWN CENTER

Policy LU 15. Redevelop the stadium property into a dynamic mixed-use sports and wellness destination that promotes economic inclusivity and equitable growth.

LU 15.1: Rezone the stadium property to the Town Activity Center (TAC) Zone to enable higherdensity, pedestrian-friendly mixed-use development. See Zoning Changes 44 and 45 in the SMA for properties subject to rezoning

PHOTO: ROY W. SIMONSON (OBTAINED THROUGH UNIVERSITY OF MARYLAND LIBRARIES DIGITAL COLLECTIONS)

LU 15.2: Collaborate with private developers and community stakeholders to establish a sports and wellness hub featuring residential, retail, and health-related uses that serve local, regional, and national users.

LU 15.3: Incorporate affordable and workforce housing within redevelopment plans.

LU 15.4: Create green connections between stream valleys by integrating trails and open spaces.

Relevant Policies: Policy NE 14, Policy HN 16, Policy HN 17,Policy HD 6, and Policy HD 12, MARTIN LUTHER

KING JR HIGHWAY - NEIGHBORHOOD RETAIL FOCUS AREA

Policy LU 16. Transform the designated focus area into a walkable, mixed-use corridor with neighborhood-serving retail, public spaces, and new housing that is compatible with the existing community.

LU 16.1: Rezone properties along Martin Luther King Jr Highway from the Industrial, Employment (IE) Zone to the Commercial, Neighborhood (CN) and Commercial, Service (CS) Zones. See Zoning Changes 47, 48, and 49 in the SMA for properties subject to rezoning.

LU 16.2: Apply main street design standards using guidance from the State Highways Administration’s When Main Street is a State Highway: Blending Function, Beauty, and Identity. 29

LU 16.3: Upgrade streetscapes with wider sidewalks, landscaping, public art, pedestrian amenities, bike lanes, crosswalks, and transit infrastructure.

LU 16.4: Rezone properties near the railroad from the Industrial, Employment (IE) Zone to the Residential Single-Family Attached (RSF-A) Zone. See Zoning Change 46 in the SMA for properties subject to rezoning.

LU 16.5: Prioritize local retail and services, such as grocery stores, pharmacies, cafés, and sitdown restaurants.

LU 16.6: Establish pocket parks and plazas to create inviting public green spaces for casual gatherings, recreation, and community events.

Relevant Policies: Policy EP 13, Policy TM 26, and Policy HN 18

29 https://roads.maryland.gov/mdotsha/pages/Index.aspx?PageId=244

PHOTO: M-NCPPC
Figure 27. Outdoor Dining

Section V: Economic Prosperity

PLAN 2035 ECONOMIC PROSPERITY GOAL

Create a diverse, innovative, and regionally competitive economy that generates a range of well-paying jobs and strategically grows the tax base.

SECTOR PLAN ECONOMIC PROSPERITY GOAL

To nurture a thriving local economy with a diverse mix of neighborhood-serving businesses, while equipping a skilled workforce to support a growing, innovative regional job market that offers a range of well-paying opportunities.

Economic Prosperity: Key Topics

• Business Growth

• Workforce Development

• Industry and Innovation

• Transit-Oriented Development

• Tourism and Entertainment

• Sustainability and Resilience

• Investment and Partnerships

Economic Prosperity: Key Questions

• How can redevelopment efforts ensure equitable access to opportunities for small businesses and residents?

• What strategies will best support workforce growth in emerging industries like technology and sustainability?

• How can transit-oriented development drive long-term economic resilience and attract investment?

Figure 28. Small Business Retail Strip, Yost Place, Seat Pleasant
PHOTO: M-NCPPC

Existing Conditions

Commerical Space

Highest Level of Education attained by residents aged 25 and older. Need for workforce development and education initiatives to advance economic opportunities.

OPPORTUNITIES AND CHALLENGES*

OPPORTUNITIES

Transit-Oriented Development (TOD) Expansion:

• Leveraging proximity to Metro stations to increase density and promote mixed-use developments.

• Focusing on land use strategies that enhance transit accessibility and walkability.

Abandoned Properties Redevelopment:

• Redeveloping abandoned properties to revitalize neighborhoods and drive economic growth.

• Using strategies such as land banking and tax incentives to rehabilitate underutilized properties.

Mixed-Income Housing Development:

• Creating opportunities for mixed-income housing to address affordability challenges and promote diversity.

• Applying inclusionary zoning and density bonus programs to integrate affordable housing into new developments.

Commercial Corridor Revitalization:

Revitalizing commercial corridors through land use interventions to attract businesses, improve walkability, and enhance the area’s overall vibrancy.

Transparent Communication

CHALLENGES

Balancing Fees and Investment

High impact fees, especially near transit hubs, may discourage development. Aligning fees with growth and investment goals is essential to sustaining progress.

Shifting Market Demand

Transitioning from traditional office spaces to service-focused and mixed-use developments requires rebranding and addressing outdated perceptions.

Foster trust and accountability by embedding transparency into planning, creating accessible feedback channels, and engaging diverse voices through inclusive outreach.

Building Community Trust

Skepticism about new developments and concerns over displacement hinder progress. Transparent communication and inclusive planning are essential to earn community trust.

Managing Retail Saturation

Maintaining a balanced mix of businesses is key to preventing oversupply and supporting sustainable growth. Retail saturation occurs when the number of businesses outpaces local demand, leading to higher vacancies and reduced profitability. This plan responds by aligning development with community needs and promoting a diverse, resilient retail landscape.

Addressing Digital Equity

Limited internet access inhibits residents' participation in the digital economy. Expanding broadband infrastructure and offering digital literacy programs are essential for equitable progress.

*See sources in Major Opportunities and Challenges Section

Economic Incentive Designations and Programs

This section highlights the designations and programs most closely tied to the Economic Prosperity strategies. Tools such as Opportunity Zones, Revitalization Tax Credits, and Community Legacy grants are built into each strategy to show how funding and investment support community priorities.

DESIGNATIONS

Opportunity Zones

Opportunity Zones (OZ) are federally-designated areas that encourage investment in economically distressed communities. The Internal Revenue Service oversees this program, offering tax incentives to investors who support businesses or development projects in these zones. Locations receive OZ status through a state nomination process and certification by the U.S. Treasury Department. Within the plan area, about 76 percent is in OZ, with seven designated zones falling inside the boundary (see Map 16).

Map 16. Opportunity Zones

Source: Prince George’s County Planning Department, GIS Open Data Portal, 2025, https://gisdata.pgplanning.org/opendata/ Note: Full data citation available in Appendix K: Map Citations

Historically Underutilized Business Zone (HUBZone)

The HUBZone program supports small business growth by helping qualified firms compete for certain federal contracts. Managed by the Small Business Administration, as a U.S. government agency it targets specific areas where businesses may benefit from set-aside opportunities and price preferences. Within the plan area, four HUBZones have been established. These zones cover large portions of Capitol Heights, Seat Pleasant, Peppermill Village, and the stadium property (see Map 17).

Map 17. Historically Underutilized Business Zone

Source: Prince George’s County Planning Department, GIS Open Data Portal, 2025, https://gisdata.pgplanning.org/opendata/ Note: Full data citation available in Appendix K: Map Citations

Enterprise Zone

The Enterprise Zone (EZ) program offers tax benefits to businesses that invest in designated areas and create jobs. Managed by the Maryland Department of Commerce, it provides real property tax credits and state income tax credits to eligible businesses. Companies may also receive personal property tax credits for new investments and additional income tax credits tied to job creation. Designated Enterprise Zones within the plan area support revitalization and economic growth in key locations (see Map 18).

Map 18. Enterprise Zone

Source: Prince George’s County Planning Department, GIS Open Data Portal, 2025, https://gisdata.pgplanning.org/opendata/ Note: Full data citation available in Appendix K: Map Citations

Revitalization Tax Credit

Revitalization Tax Credits encourages investment in existing communities by offering tax relief to eligible projects. The County provides a reduction on the increased property value resulting from improvements, which can be residential or non-residential. Projects with 10 or more single-family homes or multifamily units require approval from the County Council. The amount of tax relief depends on the type of improvement This credit applies to nearly the entire plan area, helping support revitalization across a wide range of neighborhoods (see Map 19).

Source: Prince George’s County Planning Department, GIS Open Data Portal, 2025, https://gisdata.pgplanning.org/opendata/ Note: Full data citation available in Appendix K: Map Citations

Map 19. Revitalization Tax Credit District Area

FINANCIAL PROGRAMS AND TAX INCENTIVES

The County’s Economic Development Corporation (EDC) offers a range of financial tools to support business development, job creation, and reinvestment in key areas. These programs include federal, state, and local incentives designed to strengthen the local economy and help businesses grow.

1. New Market Tax Credits (NMTC): This federal program encourages investment in low-income communities. The Prince George’s County Community Capital Corporation acts as the local intermediary, applying to the U.S. Treasury Department for NMTC allocations. These credits can be used to provide additional equity or financing for eligible projects.

2. Economic Development Incentive (EDI): With $50 million in dedicated funding, the EDI program helps stimulate job growth, retain existing businesses, and attract new ones. This local incentive serves as a major driver for economic development across the County.

3. High Technology Facilities Tax Credit: This credit promotes the expansion of hightech industries. Eligible businesses involved in manufacturing, assembling, fabrication, or research and development may qualify for property tax relief when developing or improving facilities.

4. Additional Incentives and finance tools:

a. New Jobs Tax Credit (NJTC) and Enhanced NJTC: Offers tax relief on real and personal property for qualifying businesses. To receive credit, businesses must notify the County before acquiring or expanding a location or hiring full-time employees.

b. Payment in Lieu of Taxes (PILOT): Allows the County to reduce or defer property taxes through a negotiated agreement. PILOTs can be structured as alternatives to Tax Increment Financing (TIF), depending on project needs.

c. Tax Increment Financing (TIF): Helps fund public improvements like parking structures, roadways, and utilities. Designated TIF Districts include New Carrollton, Largo Town Center, Prince George’s Plaza, and Suitland-Naylor Road.

d. Small Business Growth Fund: A revolving loan program for businesses with 3–5 years of successful operations. Funds can support working capital, inventory, equipment (excluding vehicles), leasehold improvements, or workforce expansion for emerging companies.

Policies and Strategies

AREAWIDE

Policy EP 1. Redevelop or revitalize vacant and underutilized properties to drive economic growth, improve community spaces, and support local businesses.

EP 1.1: Expand the County’s pre-qualified TIF districts to include the sector plan’s focus areas, allowing future tax revenues to fund upfront infrastructure and catalytic redevelopment projects.

EP 1.2: Conduct an inventory of commercial spaces to identify redevelopment opportunities and optimize retail offerings while leveraging the EDI to support priority investment sites.

EP 1.3: Attract private investment by strategically applying federal and state tax incentives including NMTC, the Revitalization Tax Credit, and Opportunity Zones in areas primed for commercial and mixed-use redevelopment.

EP 1.4: Activate vacant properties for popups, incubators, and community facilities by applying for programs such as the Small Business Growth Fund, Community Legacy Grants, and the County’s EDI.

EP 1.5: Accelerate commercial redevelopment through partnerships with developers and business owners, utilizing OZ and PILOT agreements to attract long-term investment.

EP 1.6: Enhance façade and landscape treatments along aging retail corridors using the Revitalization Tax Credit and Community Legacy grants to improve visitor appeal and support interim uses.

EP 1.7: Invest in streetscape upgrades, including medians and pedestrian zones along key corridors such as Central Avenue, supported by the Strategic Demolition Fund, Community Legacy Grants, and expanded TIF eligibility.

Relevant Policies: Policy LU 3, Policy LU 7, Policy TM 11, and Policy HD 5

Policy EP 2. Strengthen small business ecosystems to foster entrepreneurship, collaboration, and local economic growth, with a focus on historically underserved communities.

EP 2.1: Support minority- and women-owned businesses through financial assistance programs such as the Small Business Growth Fund, Neighborhood BusinessWorks, and the County’s EDI. Prioritize expanding operations and supplier diversity through targeted outreach and flexible capital options.

Figure 29. Vacant Commercial Property, Old Central Avenue
PHOTO: M-NCPPC

EP 2.2: Encourage property owners to subdivide oversized retail spaces and offer affordable leases. Pair these efforts with Community Land Trusts (CLTs) and incentives such as the Enterprise Zone designation to reduce tenant operating costs and support local ownership.

EP 2.3: Expand technical assistance for small business owners through partnerships with nonprofit service providers, incubators, and County-led programs. Leverage support available through the Sustainable Communities designation and Neighborhood BusinessWorks to ensure business owners receive guidance throughout growth stages.

EP 2.4: Promote development-ready spaces for micro-retail, food businesses, and creative entrepreneurs. Use the HUBZone designation and OZ to attract private investment and reduce barriers to entry for early-stage ventures in emerging markets.

EP 2.5: Create incubators and shared workspaces within aging commercial corridors. Combine EDI funding and Small Business Growth Fund loans to support tenant buildouts, wraparound services, and flexible space design tailored to entrepreneurs and small enterprises.

EP 2.6: Expand access to capital through Community Development Financial Institutions (CDFIs) and community-based organizations such as The Capital Market and Greater Capitol Heights Improvement Corporation.

Relevant Policies: Policy LU 5, Policy HC 2, and Policy HC 7

Sustainable Communities

The Maryland Department of Housing and Community Development (MD DHCD) oversees the Sustainable Communities designation, providing a comprehensive set of resources to support community development, revitalization, and sustainability. This program equips local governments with a framework to foster environmentally, economically, and socially responsible growth in older communities.

Key Programs & Resources:

• Community Legacy Program : Provides funding for storefront improvements, historic building restoration, and public space enhancements.

• Strategic Demolition Fund: Supports the removal of blighted properties and prepares sites for redevelopment.

• Neighborhood BusinessWorks Program: Offers financial assistance to small businesses for expansion and job creation.

• Historic Preservation Tax Credits: Helps property owners restore historic buildings while promoting economic growth.

• National Capital Strategic Economic Development Fund (NED) – Funds homeownership assistance, property rehabilitation, business improvements, and public infrastructure projects in targeted revitalization areas.

Policy EP 3. Expand tourism and hospitality to boost economic activity, celebrate cultural assets, and attract businesses and investment.

EP 3.1: Establish a cohesive local tourism brand that highlights cultural, recreational, and commercial assets. Support marketing campaigns and enhance visitor engagement efforts by leveraging Community Legacy Program funding through the Sustainable Communities designation and EDI resources to promote revitalized properties and emerging destinations.

EP 3.2: Organize signature events such as food festivals, live music performances, and cultural celebrations to attract visitors and boost local spending. Leverage the Neighborhood BusinessWorks Program, EDI, and Community Legacy grants to fund event infrastructure, temporary installations, and business participation along commercial corridors and key venues.

EP 3.3: Encourage distinctive dining, entertainment, and cultural experiences in underutilized areas. Apply tools such as Revitalization Tax Credits, NMTC, and the EZ designation to support business expansion, site improvements, and investment in creative and locally owned venues.

EP 3.4: Improve visitor infrastructure and expand public art installations along key nodes and gateways. Leverage the Strategic Demolition Fund through Sustainable Communities and coordinate TIF investments to upgrade signage, facades, and community spaces that enhance the tourism experience.

EP 3.5: Activate the Central Avenue Connector Trail (CACT) as a regional tourism and economic development asset. Promote adjacent businesses and integrate wayfinding, art, and event programming using Community Legacy grants, Small Business Growth Fund loans, and OZ investment to energize the trail corridor and link economic goals to recreation and culture.

Relevant Policies: Policy LU 5, Policy TM 5, Policy HD 2, Policy HD 5, and Policy PF 13

Policy EP 4. Expand workforce resilience and entrepreneurship to drive economic mobility and industry growth.

EP 4.1: Establish business incubators in Capitol Heights, Addison Road, and Morgan Boulevard Centers to support startups in high-demand sectors like healthcare, green energy, and advanced manufacturing. Use EDI funding and Small Business Growth Fund loans to support tenant buildouts and provide shared equipment.

EP 4.2: Convert vacant commercial spaces into workforce training hubs by partnering with local colleges and technical schools. Leverage the Sustainable Communities designation to prepare sites for reuse and align training programs with industry-specific skill development.

EP 4.3: Expand broadband infrastructure and digital literacy initiatives to support workforce training, digital entrepreneurship, and remote job opportunities. Apply NMTC and OZ investments to fund broadband upgrades and digital access programs in underserved areas.

EP 4.4: Enhance training programs and apprenticeships in high-demand fields such as modular housing construction and renewable energy. Use High Technology Facilities Tax Credit,

Neighborhood BusinessWorks, and NJTC to support employer-led training, registered apprenticeships, and job placement services.

EP 4.5: Establish a Local Chamber of Commerce or Business Roundtable to connect business owners, entrepreneurs, and community stakeholders. Use Community Legacy grants and EZ incentives to support collaborative programming, shared marketing, and resourcesharing platforms that strengthen the local business ecosystem.

Relevant Policies: Policy LU 5, Policy HN 8, Policy HC 8, Policy PF 6, and Policy PF 8

Policy EP 5. Advance industry clusters to drive innovation, business growth, and economic resilience in key sectors such as technology, healthcare, and sustainability.

EP 5.1: Partner with universities, investors, and infrastructure providers to support emerging industries. Use EDI funding and TIF to enhance facilities, utilities, and broadband access in areas targeted for cluster growth. Prioritize locations within OZ and EZ to maximize investment potential and job creation.

Employment Areas and Industry Clusters

• Business Services

• Federal Government

• Healthcare and Life Sciences

• Information, Communication, and Electronics

As designated in Plan 2035

EP 5.2: Offer grants, tax credits, and incentives to attract research-driven businesses in fields such as biotech, clean energy, and advanced manufacturing. Apply tools such as NMTC, High Technology Facilities Tax Credit, and NJTC to support innovation, workforce expansion, and facility development.

EP 5.3: Develop a branding strategy to position the Health Sciences District as a regional hub for innovation and investment. Seek Community Legacy funding through the Sustainable Communities designation to support placemaking, public realm improvements, and coordinated marketing. Pair with EZ incentives to attract anchor institutions and researchbased firms.

Relevant Policies: Policy HC 3

FOCUS AREAS

See below for specific policies and strategies.

MORGAN BOULEVARD REGIONAL TRANSIT DISTRICT

Policy EP 6. Transform Morgan Boulevard as a high-density, transit-oriented entertainment hub that fosters diverse cultural experiences, drives economic growth, and strengthens community engagement.

EP 6.1: Support public-private partnerships that attract investment in entertainment and cultural spaces. Use Economic Development Incentive (EDI) funding and New Market Tax Credits (NMTC) to support anchor venues, creative placemaking, and long-term operational sustainability. Prioritize sites within Opportunity Zones to maximize private-sector interest and equity investment.

EP 6.2: Streamline permitting processes for entertainment establishments, improving accessibility and development opportunities within a dense urban setting

EP 6.3: Offer density incentives for developments that enhance entertainment, arts, and cultural spaces, supporting a vibrant regional destination

EP 6.4: Promote complementary uses aligned with the proposed amphitheater and food hall, attracting investment and strengthening Morgan Boulevard’s entertainment scene.

Relevant Policies: Policy LU 6, Policy LU 8, Policy HN 12, Policy HC 13 and Policy PF 15

CAPITOL HEIGHTS LOCAL TRANSIT CENTER

Policy EP 7. Establish Capitol Heights as an accessible and economically thriving local center.

EP 7.1: Conduct a market assessment and partner with property owners to create a diverse, community-focused mix. Use Enterprise Zone incentives, Small Business Growth Fund loans, and Revitalization Tax Credits to support new and existing neighborhood-serving businesses.

EP 7.2: Expand mixed-income and workforce housing programs, ensuring affordability and long-term community stability.

EP 7.3: Leverage public-private partnerships that fund development projects and attract investment.

Relevant Policies: Policy HN 13 and Policy HD 9

OLD CENTRAL AVENUE

Policy EP 8. Revitalize Old Central Avenue to create a strong commercial identity and boost small, neighborhood-serving businesses.

EP 8.1: Launch a municipal enhancement program with the Town of Capitol Heights to improve streetscapes and building façades. Use Community Legacy Program funds and Revitalization Tax Credits to enhance the corridor's physical appearance and business viability.

EP 8.2: Apply for Sustainable Communities grants and access the Strategic Demolition Fund to support streetscape improvements and the removal of obsolete structures.

Figure 30. Vacant Commercial Uses - Old Central Avenue
PHOTO: M-NCPPC

EP 8.3: Promote adaptive reuse and mixed-use redevelopment of vacant properties. Apply Neighborhood BusinessWorks and Small Business Growth Fund resources to support tenant build-outs, site upgrades, and job creation.

EP 8.4: Develop a branding strategy that reflects local identity and positions Old Central Avenue as a distinct retail destination. Leverage Community Legacy Program funding to support signage, design, and public art installations.

EP 8.5: Pursue Main Street Maryland Designation or Affiliate status to unlock technical assistance and additional revitalization resources that align with the vision and Sustainable Communities goals.

Relevant Policies: Policy LU 11 and Policy HD 9

ADDISON ROAD LOCAL TRANSIT CENTER

Policy EP 9. Transform the Addison Road-Seat Pleasant Metro Station area into a vibrant, walkable center with diverse retail and housing options.

EP 9.1: Prioritize pedestrian-friendly, local-serving retail. Use Revitalization Tax Credits and Enterprise Zone designations to support small business investment and façade enhancements.

EP 9.2: Activate the ground floors of mixed-use developments with neighborhood retail and essential services. Apply for Community Legacy funding and TIF support to finance buildouts and infrastructure upgrades.

EP 9.3: Promote mixed-income housing to strengthen community diversity. Use PILOT agreements and Sustainable Communities designation tools to maintain affordability and attract equitable investment.

Relevant Policies: Policy LU 13, Policy HN 15, Policy HD 6, and Policy PF 18

Policy EP 10. Redevelop Addison Plaza Shopping Center into a modern, mixed-use destination that enhances usability, attracts investment, and supports local businesses.

EP 10.1: Upgrade facades, landscaping, and parking areas. Use Revitalization Tax Credits, Community Legacy Grants, and Enterprise Zone incentives to fund these improvements and modernize the property.

EP 10.2: Market the plaza for transit-oriented redevelopment, to include housing options while ensuring affordable commercial space.

SUMMERFIELD TOWN CENTER

Scenario 1 (New Stadium Constructed)

Policy EP 11. Advance mixed-use development at Summerfield Town Center if the football team stays, integrating housing, retail, and public spaces to enhance economic activity.

EP 11.1: Develop a dense, mixed-use sports and entertainment district built around a new state-of-the-art stadium. The district includes multifamily housing, event-oriented retail,

and activated public spaces to support a thriving urban environment (See Figure 18 and Figure 19).

Relevant Policies: Policy HN 16 and Policy HD 11

Scenario 2 (Sports & Wellness Village)

Policy EP 12. Reimagine Summerfield Town Center as a large indoor/outdoor sports and entertainment destination if the football team relocates, complemented by housing and retail to strengthen the local economy.

EP 12.1: Establish a sports complex with mixed-use development, ensuring a balanced mix of recreational, residential, and commercial spaces (See Figure 20 and Figure 21). The uses may include the following:

i) Residential units and hotel accommodations

ii) Conference/convention center

iii) Physical therapy and sports medicine

iv) Indoor recreation and facility rentals

v) Restaurants

Relevant Policies: Policy HN 17, Policy HD 12, and Policy PF 20

MARTIN LUTHER KING JR HIGHWAY - NEIGHBORHOOD RETAIL FOCUS AREA

Figure 31. Strip Center - Martin Luther King Jr Highway
PHOTO: M-NCPPC

Policy EP 13. Revitalize the Neighborhood Retail Focus Area, supporting business growth and a distinct, neighborhood-serving commercial identity while enhancing walkability and accessibility.

EP 13.1: Improve sidewalks, lighting, landscaping, and building facades through state and local funding

EP 13.2: Redevelop vacant and underutilized properties into mixed-use spaces, integrating retail, office, and residential uses.

EP 13.3: Secure state grants, such as Community Legacy, to modernize and upgrade commercial properties, ensuring long-term viability.

EP 13.4: Develop a comprehensive branding strategy, incorporating signage, marketing campaigns, and district identity efforts.

EP 13.5: Improve existing properties by expanding technical assistance and financial support for local business owners.

Relevant Policies: Policy LU 16, Policy TM 26, Policy HN 18, and Policy PF 21

Section VI: Transportation and Mobility

PLAN 2035 TRANSPORTATION AND MOBILITY GOAL

Provide and maintain a safe, affordable, accessible, and sustainable multimodal transportation network that supports the County’s desired land use pattern and Plan 2035 goals.

SECTOR PLAN TRANSPORTATION AND MOBILITY GOAL

Leverage the existing WMATA Metrorail system to develop a robust multimodal transportation network that ensures safe, efficient travel for all users connecting residential neighborhoods, employment centers, shopping districts, recreational areas, and regional transit nodes while reducing reliance on single-occupancy vehicles. Additionally, transform Metro-adjacent segments of MD 214 (Central Avenue) into Complete Streets that align with Plan 2035 goals for economic prosperity, community heritage, environmental sustainability, and public health.

Transportation and Mobility: Key Topics

• Multimodal transportation

• Complete Streets and Green Streets

• Traffic calming and Vision Zero

• Transit access and service improvements

• Bicycle and pedestrian infrastructure

• Parking management

Transportation and Mobility: Key Questions

• How can we create a safer and more accessible transportation network for all users, including pedestrians, cyclists, and transit riders?

• How can transit service and multimodal connections be improved to reduce reliance on singleoccupancy vehicles?

• How can infrastructure be designed to support long-term sustainability and climate resilience?

Figure 32. Central Avenue at Addison Road-Seat Pleasant Metro Station
PHOTO: M-NCPPC

Commuting Habits

Major Roadways

MD routes are maintained by MDOT SHA. All other roads are maintained by County or Municipal authorities.

MD 704 (Martin Luther King Jr Highway): Built in the 1940s along a former railway, it is the primary road in Seat Pleasant’s commercial district

Transit Use

MD 332 (Old Central Avenue): Once the main street of Capitol Heights, its commercial corridor declined after the extension of MD 214

use public transit walk/ other WMATA Metro Blue & Silver Line stations

Locations with severe bicycle and pedestrian crashes High Injury Network Locations

Central Avenue: Between Maryland Park Drive to Pepper Mill Drive, 8th most dangerous road in the County

Ritchie Road: Between Central Avenue and Edgeworth Drive, 8th most dangerous County-owned road

MD 214 (East Capitol Street/Central Avenue):

A major east-west route connecting Washington, D.C., and outer-beltway communities

Addison RoadSeat Pleasant Capitol Heights

Highest average daily ridership of the 3 stations

TheBus and Metrobus

Routes are generally long and indirect

No direct route connects the Stadium and Metro

33. Bus Stop along Central Avenue

Table 9. Plan Area Major Roadways

Morgan Boulevard/ Ritchie Road

Source: 2010 Approved Subregion 4 Master Plan https://www.pgplanning.org/resource_library/approved-subregion-4-master-plan-andsectional-map-amendment

Figure
PHOTO: M-NCPPC

Map 20. Existing Master Planned Right-of-Way

Source: Prince George’s County Planning Department, GIS Open Data Portal, 2025, https://gisdata.pgplanning.org/opendata/ Note: Full data citation available in Appendix K: Map Citations.

Source: Prince George’s County Planning Department, GIS Open Data Portal, 2025, https://gisdata.pgplanning.org/opendata/ Note: Full data citation available in Appendix K: Map Citations

Map 22. Existing Bicycle, Pedestrian, and Rail Facilities

Source: Prince George’s County Planning Department, GIS Open Data Portal, 2025, https://gisdata.pgplanning.org/opendata/ Note: Full data citation available in Appendix K: Map Citations

34. Average Metrorail Daily Rail Entries by Year

Source: Metrorail Ridership Summary, Washington Metropolitan Area Transit Authority.

Figure
Figure 35. Addison Road-Seat Pleasant Metro Station Platform
PHOTO: M-NCPPC

Map 23. Existing Transit Network

Source: Prince George’s County Planning Department, GIS Open Data Portal, 2025, https://gisdata.pgplanning.org/opendata/ Note: Full data citation available in Appendix K: Map Citations

OPPORTUNITIES AND CHALLENGES*

OPPORTUNITIES

Support for Safety Programs

Community engagement has shown a strong demand for better safety in personal security and transportation, especially on Central Avenue. This opens opportunities to redesign roadways and streetscapes to slow traffic and improve pedestrian and cyclist safety.

Regional Trail Corridors

The Central Avenue Connector Trail (CACT) presents an opportunity to enhance local and regional movement. Extending the WB&A Trail can improve active transportation between key areas.

Enhancing TOD and Walkability

New projects near transit stations can increase ridership and ease road congestion. Over-built roads offer opportunities for safety-focused redesigns without widening the right-of-way. Optimizing the street network near Metro stations can enhance transit-oriented development and walkability.

Progressive Urban Street Design Standards and Go Prince George’s

The Urban Street Design Standards provide clear street design guidelines within Centers. The upcoming MPOT "Go Prince George’s," establishes a comprehensive framework for countywide movement and safety improvements.

Partner Agency Transit Plans

Collaborative initiatives, including DPW&T’s Transit Transformation and WMATA’s Better Bus Initiative, aim to strengthen bus transit connections and increase ridership. WMATA’s proposed Capitol Heights Metro upgrades and long-term Blue/Orange/Silver Capacity and Reliability Study offer opportunities for regional transit enhancements.

*See sources in Major Opportunities and Challenges Section

CHALLENGES

High Crash Corridors

Two segments within the area rank among the County’s top ten deadliest for cyclists and pedestrians (See Map 24. Bicycle and Pedestrian Crash Locations). Oversized roads and wide lanes encourage speeding and hinder nonmotorized transportation, posing serious safety concerns.

Deficient and Inaccessible Bicycle and Pedestrian Infrastructure

The current car-centric design fails to adequately support nonmotorized users and lacks compliance with ADA standards. Disjointed, poorly maintained pedestrian and bicycle pathways diminish the appeal and practicality of walking, cycling, and other forms of active transportation.

Inadequate Bus Stop Amenities and Routes

Many bus stops lack essentials like shelters, lighting, and benches. In addition, unreliable and infrequent routes undermine the appeal and effectiveness of public transit for residents.

Financial and Jurisdictional Challenges

Coordinating changes across agencies such as DPW&T, MDOT SHA, and WMATA is complex. Roadway changes are costly, impact adjacent landowners, and require significant funding, which is limited, constraining transit improvements.

Topography and Natural Barriers

Dramatic topographical changes and stream valleys create physical barriers, isolating neighborhoods.

Source: "High Injury Network for Pedestrian and Bike Crashes." Maryland State Highway Administration. https://www.princegeorgescountymd.gov/sites/default/files/Vision-Zero-High-Injury-Network.pdf and "Maryland Crash Data Download". Maryland Department of State Police. https://mdsp.maryland.gov/Pages/Dashboards/CrashDataDownload.aspx. Note: Full data citation available in Appendix K: Map Citations

Map 24. Bicycle and Pedestrian Crash Locations (2020-2022)

Policies and Strategies

AREAWIDE

Pedestrians

Policy TM 1. Improve safety, accessibility, and connectivity of pedestrian infrastructure including sidewalks, trails, and crosswalks.

TM 1.1: Construct the shared-use paths, and trails as recommended in

TM 1.2: Table 30 and the pedestrian elements in Table 10, Table 11, Table 12, Table 13, Table 14, Table 15, and Table 16.

TM 1.3: Evaluate the sidewalk network’s compliance with Urban Street Design Standards, Section 23-135 curb and gutter; hiker-biker trails; sidewalk, and Section 27-4204 TransitOriented/Activity Center Base Zones of the County Ordinance. Construct sidewalks that exceed minimum standards, prioritizing connections to schools and Metro stations.

TM 1.4: Install sidewalks to fill in gaps on high-priority segments identified in Table 26

TM 1.5: Fill in trail and sidewalk network gaps along Walker Mill Drive/Old Ritchie Road, Shady Glen Drive, and Ritchie Road.

TM 1.6: Retrofit existing and/or provide new pedestrian pathways to existing dead-end roadways.

TM 1.7: Establish and fund a program allowing residents to request sidewalks in their neighborhoods.

TM 1.8: Ensure sidewalks remain unobstructed by vegetation, are of sufficient quality, and are properly maintained by DPW&T and DPIE. Prioritize the maintenance of roadways where pedestrian facilities exist on only one side (e.g., Addison Road South pedestrian bridge).

TM 1.9: Clearly mark all legal pedestrian crossings.

TM 1.10: Provide or enhance crosswalks near bus stops, Metro stations, and at locations identified in Table 27.

TM 1.11: Increase pedestrian signal timing.

TM 1.12: Conduct a feasibility analysis for a pedestrian bridge over Central Avenue at Cabin Branch Road.

PHOTO: M-NCPPC
Figure 36. Neighborhood Connection

i) Coordinate with landowner (WMATA) and MDOT SHA to assess organizational support and capacity for a pedestrian bridge over Central Avenue.

TM 1.13: Incorporate design features for the visually and hearing-impaired along sidewalks and at crosswalks.

Relevant Policies: Policy LU 3, Policy NE 8, and Policy HD 3

Policy TM 2. Improve pedestrian connections to Downtown Largo to minimize pedestrian conflict with vehicles and enhance mobility and accessibility.

TM 2.1: Support MDOT SHA’s I-95/I-495 Capital Beltway and Medical Center Drive Interchange project.

TM 2.2: Complete the CACT’s expansion of the Senator Decatur “Bucky” Trotter Memorial Bridge over I-95/I-495 (along the Metro rail alignment) or establish an alternative route nearby.

Relevant Policies: Policy PF 3

Cyclists & Micromobility

Policy TM 3. Create connective, safe, comfortable, and accessible cycling and micromobility infrastructure.

TM 3.1: Construct recommended bicycle facilities along specified roadways as outlined in Table 25.

TM 3.2: Increase cyclist visibility and clearly denote rights-ofway through treatments such as bike boxes, median refuge islands, and two-way queue turns. 30

TM 3.3: Develop a low-stress network of bicycle boulevards along low-traffic neighborhood streets.

i) Establish a bicycle boulevard along Cabin Branch, connecting Birchleaf Park to Central Avenue via Carmody Hills, Pepper Mill Village, and the J. F. Bourne Memorial Pool.

ii) Add a bicycle and pedestrian connection from MD 704 near Glen Willow Drive to Birchleaf Park to complete a north-south connection.

Figure 37. Bicycle and Scooter parking on the University of Maryland Campus

PHOTO: M-NCPPC

TM 3.4: Provide free short-term covered bicycle parking or lockers at the area’s Metro stations.

30 National Association of City Transportation Officials, Urban Bikeway Design Guide, “Intersection Treatments”, accessed November 19, 2024 at https://nacto.org/publication/urban-bikeway-design-guide/intersection-treatments/

TM 3.5: Install bicycle and scooter racks at all existing and proposed parks, recreation sites, and public open space facilities.

TM 3.6: Provide bicycle repair stations at key locations along cycling routes.

TM 3.7: Reduce barriers to obtaining electric bicycles or scooters by implementing a voucher program.

i) Allocate funds for a voucher or rebate for the purchase of e-bicycles, helmets, and other cycling accessories.

ii) Give priority funding to applicants using public assistance programs.

TM 3.8: Partner with organizations and local businesses to offer classes on riding and maintaining bikes and scooters, as well as sponsoring events that promote the visibility of the cycling network and community.

TM 3.9: Expand partnership with bikeshare provider (Capital Bikeshare) to install docking stations and bicycles at key locations including:

i) Addison-Road/Seat Pleasant Metro Station,

ii) Morgan Boulevard Metro Station,

iii) Wayne K. Curry Sports and Learning Center,

iv) Northwest Stadium,

Shared micromobility is a phrase that describes bikes, e-bikes, e-scooters, and other vehicles that can be rented on-demand and shared between many users. These vehicles are either docked (locked at a fixed-point such as a bike rack), or dockless (able to be parked/found anywhere on the curb).

v) Martin Luther King Jr Highway intersection with Eastern Avenue , and

vi) Other locations as identified by the community, especially along planned trails

Relevant Policies: Policy PF 2 and Policy PF 6

Shared Use Paths and Trails

Policy TM 4. Improve pedestrian and bicyclist safety around schools through traffic calming measures and education to advance Safe Routes to Schools goals.

TM 4.1: Establish a plan-area Safe Route to Schools Program including coordination between PGCPS, DPW&T, SHA, MNCPPC, Municipalities, PTAs, student body organizations, and the County’s School Pedestrian Safety Workgroup.

TM 4.2: Implement Safe Routes to School principles (see Table 24) to improve accessibility and safety. These include:

i)Traffic calming & appropriate speed limits,

ii) Presence of crosswalks and crosswalk signage,

iii) Buffered and obstruction-free sidewalks,

iv) Adequate street lighting,

v) Appropriate bicycle facilities, and

vi) Connectivity to residential neighborhoods

TM 4.3: Integrate bicycle safety education into elementary school curricula to instill safe cycling habits early.

TM 4.4: Encourage schools and municipalities to host bike, walk, and roll-to-school/work events.

Central High School Walk Audit

Project Team staff participated in the Central High School community Central Ave. Walk Audit & safe routes to school event on May 6, 2024. Representatives from the school, including students, advocacy groups, municipal, County, and State staff were in attendance to note problem spots and suggest changes. Short- and long-term solutions for safer walking/biking access to the school and transit were further discussed during an event debrief meeting on June 17, 2024.

Policy TM 5. Construct and maintain regional trails including the Central Avenue Connector Trail and the Washington, Baltimore & Annapolis Trail to provide additional connectivity and travel options.

TM 5.1: Design and construct the CACT in appropriate phasing.

TM 5.2: Construct the WB&A Trail extension along Martin Luther King Jr Highway from MD 450 (Annapolis Road) to the District of Columbia Include an off-road shared-use path and onstreet cycle track facilities.

TM 5.3: Construct secondary trail connections to both the WB&A Trail and CACT.

TM 5.4: Provide regular trail repair and maintenance on all trails: i) Trim trees, shrubs, and tall grasses, ii) Repair, sweep, and clean surfaces, iii) Remove ice and snow. 31

TM 5.5: Promote trail user courtesy and mitigate conflict among trail users.

31 Charles A. Flink, Kristine Olka, and Robert M. Searns, Trails for the Twenty-First Century (Washington: Island Press, 2001)
PHOTO: M-NCPPC

TM 5.6: Ensure compatible land use adjacent to the CACT through zoning and land use controls. Orient housing, community-serving retail, and public facilities along trails where appropriate to increase access.

Relevant Policies: Policy LU 3, Policy EP 3, Policy HN 10, Policy HD 2, Policy PF 2, Policy PF 3, and Policy PF 13

Figure 38. Chesapeake Beach Railway Trail (Part of the Central Avenue Connector Trail)
PHOTO: M-NCPPC

Map 25. Recommended Pedestrian and Cyclist Facilities

Source: Prince George’s County Planning Department, GIS Open Data Portal, 2025, https://gisdata.pgplanning.org/opendata/. Note: Full data citation available in Appendix K: Map Citations

Policy TM 6. Improve bicyclist and pedestrian (shared-use) connection between parks and existing neighborhoods.

TM 6.1: Link Seat Pleasant and Carmody Hills with a pedestrian-only bridge over Cabin Branch connecting Capon Street and Cutlog Street.

TM 6.2: Establish a trail connecting Birchleaf Park, Highland Gardens Park, and Highland Park Elementary.

TM 6.3: Improve connectivity within Maryland Park by linking Uline Avenue, Tunic Avenue, Vermouth Place, and Davey Street.

TM 6.4: Create a trail connection from Davey Street to Suffolk Avenue to Rollins Avenue to enhance access to Capitol Heights Park and Rollins Avenue Park.

TM 6.5: Enhance bicyclist and pedestrian access between the plan area and Walker Mill Regional Park by expanding sidewalk networks and constructing the trail connections identified in the Walker Mill Regional Park Master Plan

TM 6.6: Retrofit, formalize, and maintain pedestrian- and cyclist-only road closures to strengthen active transportation infrastructure at the:

i) End of East Nalley Road to Morgan Boulevard

ii) End of Pepper Mill Road north of Drylog Street

Relevant Policies: Policy PF 2

Transit

Policy TM 7. Enhance bus service frequency and improve the flow of transit vehicles.

TM 7.1: Implement the recommendations from Prince George’s County Transit Transformation and WMATA’s Better Bus Initiative.

TM 7.2: Increase frequency for TheBus Routes P56 and P57 (current routes 26 and 28) and introduce additional routes per WMATA Better Bus Initiative (Route P52 and P55) to enhance service to Downtown Largo, as outlined in Table 28

TM 7.3: Implement transit-signal priority (TSP) along:

i) Martin Luther King Jr Highway east of Addison Road,

ii) Addison Road from the Metro Station southward,

iii) East Capitol Street and Central Avenue from the Capitol Heights Metro Station to Morgan Boulevard.

TM 7.4: Launch a PGCLink program in areas lacking fixed-route bus service.

PGCLink is an on-demand transit service offered by the Department of Public Works and Transportation where users can request a ride on their phone and travel to destinations within the transit zone for a $2 flat rate.

Policy TM 8. Ensure safe and comfortable bus stop accommodations.

TM 8.1: Upgrade bus stops by providing the following (Table 29):

i) Shelter

ii) Paved queuing areas

iii) Lighting

iv) Safety features

v) Accurate arrival timers

vi) Benches

vii) Ramps

viii) Trash and recycling bins

PHOTO: M-NCPPC

TM 8.2: Incorporate innovative technologies into bus facilities, including digital signage, green roofs, solar features, and other emerging advancements.

Relevant Policies: Policy HD 3

Figure 39. Capitol Heights Metro Station Bus Loop

Source: Prince George’s County Planning Department, GIS Open Data Portal, 2025, https://gisdata.pgplanning.org/opendata/. Note: Full data citation available in Appendix K: Map Citations.

Roadways: Traffic Calming & Safety and Complete & Green Streets

Policy TM 9. Calm traffic along MD 214 (Central Avenue) to improve safe walking, cycling, transit use, and driving.

TM 9.1: Implement a road diet plan on Central Avenue

i) Reduce lanes from six-to-four between Southern Avenue and Norair Avenue while maintaining six lanes east of Norair Avenue (see Figure 40).

TM 9.2: Use reclaimed right-of-way space for traffic calming features and bicycle/pedestrian facilities (see Table 10, Table 11, Table 12, Table 13, Table 14, Table 15, and Table 16) such as:

i) Vegetated buffers

ii) Bicycle/ pedestrian paths

iii) Floating bus islands and pullouts

iv) Curb extensions

v) Widened sidewalks connecting to the Central Avenue Connector Trail (CACT)

TM 9.3: Reduce speed limits for vehicles.

TM 9.4: Enhance speed enforcement.

TM 9.5: Provide pedestrian refuge islands, corner bulb-outs, speed tables, and raised intersections at key locations as appropriate.

Figure 40. Central Avenue Potential Redesign

Policy TM 10. Calm vehicular traffic on key streets to improve safety and comfort of pedestrians, cyclists, and micromobility users.

TM 10.1: Implement traffic calming on Ritchie Road (currently identified as a corridor on the County’s high injury network) (see Table 11).

TM 10.2: Apply traffic calming measures to high-risk corridors such as Addison Road and Martin Luther King Jr Highway (see Table 10).

TM 10.3: Implement a variety traffic calming solutions (see Table 10, Table 11, Table 12, Table 13, Table 14, Table 15, and Table 16) as appropriate, including the following:

i) Corner bulb-outs

ii) Median islands

iii) Raised intersections

iv) On-street parking

v) Traffic circles

vi) Speed humps or tables

vii) Signal timing adjustments

TM 10.4: Deploy ‘pop-up’ infrastructure pilot programs. Use demonstration projects to test facility types and locations, gather user feedback, and develop permanent solutions based on community support.

TM 10.5: Remove slip ramps wherever feasible, prioritize the removal of those at:

i) East Capitol Street and Southern Avenue

ii) Dole Street and Capitol Heights Boulevard

iii) Old Central Avenue at Chamber Avenue

iv) Morgan Boulevard and Central Avenue

v) East Capitol Street onto Maryland Park Drive (south) and Bugler Street

vi) Martin Luther King Jr Highway and Eastern Avenue NE

TM 10.6: Upgrade pedestrian-scale lighting, prioritizing major intersections and crosswalks for improved visibility and safety of pedestrians and bicyclists.

TM 10.7: Conduct regular walk/bike safety audits in collaboration with community organizations and schools.

Relevant Policies: Policy HD 2

Policy TM 11. Design future roadways and retrofit existing streets to be Complete and Green Streets that ensure safe travel while improving stormwater management, sustainability, and climate resilience.

TM 11.1: Upgrade and design streets to meet Complete Streets and Green Streets standards (see Table 10, Table 11, Table 12, Table 13, Table 14, Table 15, and Table 16)

TM 11.2: To ensure consistency across planning efforts, carry forward all recommendations within this sector plan in the concurrent update to the Preliminary Countywide Master Plan of Transportation, Go Prince George’s.

TM 11.3: Integrate stormwater management improvements during roadway construction and resurfacing using interventions from DPIE’s Stormwater Management Design Manual to increase resilience to climate change

TM 11.4: Align roadway improvements with the County’s environmental stewardship goals, Climate Action Plan, and 2005 Approved Green Infrastructure Master Plan

TM 11.5: Expand tree canopy coverage and/or use reflective pavement to mitigate urban heat island effects and improve comfort for pedestrians and cyclists.

TM 11.6: Install solar canopies (Figure 42) over parking lots and similar structures.

Figure 41. Pedestrians Crossing MD 214
PHOTO: M-NCPPC

Relevant Policies: Policy EP 1, Policy NE 2, Policy NE 3, Policy HD 3, Policy HC

5
PHOTO: M-NCPPC
Figure 42. Solar Canopy, Largo

Urban Street Design Standards

Prince George’s County DPW&T released an update to the Urban Street Design Standards (USDS) which are the standards for “designing new and retrofit streets in Regional Transit Districts and Local Centers, as established by Plan Prince George’s 2035.” This document includes 17 typologies of Urban Streets and prescribes their right-of-way width, width of medians or turn lanes, intended functional operating speed (MPH), maximum travel lanes, presence and dimensions of on-street parking, sidewalk widths, presence of shared-use paths, and appropriate bike facilities.

Table 25. Recommended Master Plan of Transportation Shared-Use Paths, Trails, and Bike Facilities applies the Urban Street Design Standards to existing and future roadways in the Plan Centers and describes their nonmotorized facilities and traffic calming in detail.

Common USDS used were the Mixed-Use Boulevard Four Travel

Lanes (B)
The Neighborhood Connector
The Neighborhood Residential Street
Prince George’s County Department of Public Works & Transportation, Urban Street Design Standards, “Urban Street Design Standards”.

Map 27. Recommended Master Planned Right-of-Way

Source: Prince George’s County Planning Department, GIS Open Data Portal, 2025, https://gisdata.pgplanning.org/opendata/. Note: Full data citation available in Appendix K: Map Citations

Table 10. Established Communities Complete and Green Streets

Outside Focus Area

UM-405 MD 214 (Central Avenue) Cindy Lane Shady Glen Drive/Hill Road 98

Elements

• Road diet from 6 to 4 lanes

• 25 mph speed limit

• Widened vegetated, raised median equipped with trees, stormwater capture, and native planting

• No parking

• Wide vegetated landscape buffer with trees and stormwater management features to protect pedestrian infrastructure

• Widened, fully connected sidewalks on both sides

Mixed-Use Boulevard: Four Travel Lanes (B)

• CACT as bicycle and pedestrian facility

• Separated one way bike lane and wide vegetated sidewalk on areas east of split with CACT

• Installation of midblock crossing at Pepper Mill Drive with rapid flash beacons and crosswalk striping

• Traffic pinchpoints, lane shifts, rumble strips to combat downhill slope and dangerous vehicle speeds

• Consideration of floating bus stops

UM-429 Sheriff Road Harvey Drive Sean Taylor Road 94

Elements

• Road diet from 4 to 2 lanes

• 25 mph speed limit

• Widened vegetated, raised median equipped with trees, stormwater capture, and native planting, or turn lanes as appropriate

• Wide vegetated landscape buffer with trees and stormwater management features to protect bike and pedestrian infrastructure

Mixed-Use Boulevard: Two Travel Lanes (A)

• Widened, fully connected sidewalks on both sides

• Separated one-way bike path on both sides connected to the Wayne K. Curry Sports and Learning Complex

• Speed tables and rumble strips at the entrance to the Wayne K. Curry Sports and Learning Complex

• Traffic pinchpoints to combat downhill slope

• On-street parking on both sides

C-405 Sheriff Road Western Plan Boundary Summerfield TAC 80 Collector

Elements

• Road diet from 4 to 3 lanes with center turn lane

• 25 mph speed limit

• Utilization of existing on-street parking for bike lane buffer

• Wide vegetated landscape buffer with trees and stormwater management features to protect bike and pedestrian infrastructure

• Widened, fully connected sidewalks on both sides

• One-way bike lanes on each side with parking buffer

• Speed tables and rumble strips at school and sports and learning entrance

• Traffic pinchpoints to combat downhill slope

C-412 Brightseat Road MD 214 (Central Avenue) Sean Taylor Road 80 Collector

Elements

• Road diet from 4 to 3 lanes with center turn lane

• 25 mph speed limit

• Wide vegetated landscape buffer with trees and stormwater management features to protect bike and pedestrian infrastructure

• Widened, fully connected sidewalks

• Cycle track or shared use path

• Speed tables and rumble strips at school entrance

• Bike/ped linkage to CACT

C-414 Shady Glen Drive Southern Plan Boundary CACT 80 Collector

Elements • 2 lanes

• 25 mph speed limit

• No median

• Wide vegetated landscape buffer with trees and stormwater management features to protect pedestrian infrastructure

• Widened, fully connected sidewalks

• Bike/ped linkage to CACT

• Continued use of on-street parking as protective bike facility

Elements • 2 lanes

• 25 mph speed limit

• No median

• Utilization of on-street parking for protected bike paths

• Wide vegetated landscape buffer with trees and stormwater management features to protect pedestrian infrastructure

• Widened continuous sidewalk on east side of road

• Speed table and other traffic calming measures

• CACT as shared-use path on the west side of Shady Glen Drive

• Corner bulb-outs, shorter crossing, and better buffering at Walker Mill Drive

• Potentially removal of a travel lane at intersection with MD 214

• Raise intersection, improve markings, expand corner bulb-out, shorten crossing distance, better signalization and timing

Policy TM 12. Expand electric vehicle (EV) charging infrastructure and incentivize EV adoption.

TM 12.1: Expand public EV charging stations.

TM 12.2: Provide education, technical assistance, and financial incentives to encourage property owners to install EV chargers in new and existing developments.

TM 12.3: Encourage gas stations to install EV charging stations to support broader adoption.

TM 12.4: Require EV charging stations in all public and government-owned parking facilities.

Relevant Policies: Policy PF 7

Policy TM 13. Improve community health and well-being by strengthening active transportation infrastructure and improving connectivity to health & wellness activities and experiences for all modes.

TM 13.1: Increase awareness of the mental and physical health benefits of walking and cycling.

TM 13.2: Develop a comprehensive network of trails, shared use paths, bikeways, and improved sidewalks linking sports and recreation centers, therapeutic institutions, healthy food stores, and social spaces.

Relevant Policies: Policy HC 13

Figure 43. EV Charging Stations, Capitol Heights

Policy TM 14. Improve freight movement while minimizing residential impacts.

Incentives for EVs and EV Charging

Electric Vehicle (EV) Charger Rebate – City of Naperville, IL

The City of Naperville offers residents and commercial entities a cash rebate for the installation of a Level 2 or direct current (DC) fast charger. US Department of Energy https://afdc.energy.gov/laws/local_examples#3

Alternative Fuel Vehicle Refueling Property Credit

If you install property to recharge electric vehicles in your home or business, you may be eligible for the Alternative Fuel Vehicle Refueling Property Tax Credit. Internal Revenue Service https://www.irs.gov/creditsdeductions/alternative-fuel-vehicle-refuelingproperty-credit

TM 14.1: Design Ritchie Road, Hampton Park Boulevard, and Truck Way to accommodate freight traffic including wide shoulders (for over-dimensional loads), sufficient turn radii, and enhanced separation of modes (See Table 25 and Table 30)

TM 14.2: Maintain MD 214 east of Norair Avenue as a 6-lane wide corridor to support access to the beltway from industrial areas on the east side of the plan area.

TM 14.3: Direct freight trucks away from residential neighborhoods through auto-scaled wayfinding signs to ensure separation of vehicle types and mitigate cut-through traffic and noise pollution in residential areas.

FOCUS AREAS

Policy TM 15. Improve roadway safety and comfort in the Focus Areas as roadways are constructed, adapted, and evaluated.

TM 15.1: Apply Complete Street principles in new development within the Focus Areas and intentionally design roadways that include the following:

i) Reduced vehicle speeds and enhanced traffic calming measures

ii) Wide and connective sidewalks

iii) Shortened pedestrian crossing distances with median islands and signals/signage

iv) Appropriate bicycle facilities ranging from shared roadways to dedicated off-road facilities

v) Dedicated space for transit vehicles in design considerations

vi) Stormwater management features in medians and buffer strips

PHOTO: M-NCPPC

vii) Street furniture and trees for comfortable and dignified pedestrian and bicyclist experience

TM 15.2: Construct bicycle, pedestrian, and micromobility infrastructure in accordance with Table 25, Table 10, Table 11, Table 12, Table 13, Table 14, Table 15, and Table 16 to ensure safe access to transit.

TM 15.3: Construct and reconstruct public roads as outlined in Section 27-6206 (Vehicular Access and Circulation) of Prince George’s Zoning Ordinance, ensuring alignment with DPW&T Urban Street Design Standards.

TM 15.4: Eliminate vehicular LOS requirements within the Districts and Centers. Amend Table 21 of Plan 2035, applicable recommendations of functional master plans, and the Transportation Review Guidelines.

Relevant Policies: Policy LU 6

Policy TM 16. Manage parking to support multimodal access, transit use, and land use goals.

TM 16.1: Conduct a corridor-wide parking study to understand current parking usage and demand and make recommendations for parking management best practices based on both projected parking needs and the goal of reducing demand for surface lots

TM 16.2: Coordinate with municipalities to create and/or enforce residential parking districts and parking regulations near Metro stations to mitigate commuter spillover, preserve neighborhood access, and provide enforcement of on-street parking regulations

TM 16.3: Collaborate with the municipalities, DPW&T, the Revenue Authority, businesses, and property owners to advance parking management practices such as:

i) Variable demand-based parking pricing

ii) Carpool parking priority

iii) Unbundled parking costs

iv) Limitations on new surface parking

v) Shared parking agreements in new development

vi) In-lieu fees for unbuilt parking to fund garage construction

vii) Parking cash-out programs

TM 16.4: Coordinate with WMATA to shift parking demand away from the Capitol Heights Metro Station and towards the Addison Road-Seat Pleasant Metro Station.

Relevant Policies: Policy LU 1, Policy NE 7, Policy HD 3, and Policy HD 6

Policy TM 17. Manage curb space to accommodate the needs of residents, businesses, and transit users.

TM 17.1: Prioritize curb space for passenger pickups/drop-offs, bus stops, and bike/micromobility parking within the Local Transit Centers.

TM 17.2: Designate time-restricted loading zones at the ends of on-street parking spaces adjacent to businesses to allow commercial loading during peak hours while maintaining parking availability.

TM 17.3: Use artistic treatments on curb extensions to enhance visibility, slow traffic, and improve placemaking in the streetscape.

Relevant Policies: Policy HD 6

Figure 44. Capital Bikeshare Charging Docks
PHOTO: M-NCPPC

MORGAN BOULEVARD REGIOINAL TRANSIT DISTRICT

Map 28. Morgan Boulevard Planned Pedestrian and Cyclist Facilities

Source: Prince George’s County Planning Department, GIS Open Data Portal, 2025, https://gisdata.pgplanning.org/opendata/. Note: Full data citation available in Appendix K: Map Citations

Table 11. Morgan Boulevard Complete and Green Streets

UM-430 Hill Road MD 214 (Central Avenue)

Elements

• Road diet from 4 to 2 lanes

• 25 mph speed limit

• Widened vegetated, raised median equipped with trees, stormwater capture, and native planting, or turn lanes as appropriate

• No parking

• Wide vegetated landscape buffer with trees and stormwater management features to protect bicycle infrastructure

• Widened, fully connected sidewalks

UM-405

Elements

• Road diet from 6 to 4 lanes

• 25 mph speed limit in center

• Widened the vegetated, raised median equipped with trees, stormwater capture, and native planting

• No parking

• Wide vegetated landscape buffer with trees and stormwater management features to protect bicycle infrastructure

• Widened, fully connected sidewalks

• Separated one-way bike path on both sides

• Mid-block crossing at Jonquil Avenue

• Closure of slip-ramp onto Morgan Boulevard and Ritchie Road

• Central Avenue Connector Trail on east side

• Supplemental separated bike lane where CACT is not planned

• Elevated intersection at Central Avenue

• Signage, traffic beacon, pedestrian island at trail crossing at CACT intersection.

• Corner bulb-outs and reduced crossing distance at Central Avenue

• Wayfinding, signage, and public art here in reference to the Ridgeley Rosenwald School

• Crosswalk across MD 214 on East side of intersection with Hill Road/Shady Glen Dr. Corner bulb-outs and reduced crossing distance here. Improved signalization, signage, and pavement markings for traffic calming

• Lane shifts and traffic pinchpoints

• Raised intersection at Morgan Boulevard/Ritchie Road

• At intersection with Morgan Boulevard/Ritchie Road, reduce crossing distance, add pedestrian beacons, and lengthen time for pedestrians to cross, including a pedestrian island, provide signage and wayfinding for freight traffic.

UM-423 Morgan Boulevard MD 214 (Central Avenue) Gibbs Way 114

Elements

• 4 lanes

• 25 mph speed limit

• Widened vegetated, raised median equipped with trees, stormwater capture, and native planting, or turn lanes as appropriate

• On-street parking on both sides

• Wide vegetated landscape buffer with trees and stormwater management features to protect bicycle and pedestrian infrastructure

• Widened, fully connected sidewalks

• Separated one-way bike path on both sides

Mixed-Use Boulevard: Four Travel Lanes (A)

• Add wayfinding and signage on the corridor towards CACT

• Close and redesign slip-ramp from Morgan Blvd onto Central Avenue for pedestrian safety

• Corner bulb-out to reduce crossing distance

• Mid-block crossing at Fieldstone Way

• Crosswalk on the south side of Morgan Blvd and the Metro station entrance

• Corner bulb-outs, pedestrian island, improved signalization for enhanced

• Speed humps and tables in proximity to station entrance and CACT alignment

Morgan Boulevard

UM-423 Morgan Boulevard Gibbs Way Summerfield TAC 98

Elements • 4 lanes

• 25 mph speed limit

• Widened vegetated median equipped with trees, stormwater capture, and native planting

• Time-restricted on-street parking where appropriate

• Wide vegetated landscape buffer with trees and stormwater management features to protect pedestrian infrastructure

• One-way separate bike lane

Mixed-Use Boulevard: Four Travel Lanes (B)

• Widened, fully connected sidewalks

• Mid-block crossing with pedestrian island and lit beacon between Ridgefield Boulevard and New Road B

• Speed tables and traffic pinchpoints approaching Ridgefield Boulevard and Gibbs Way to slow traffic in proximity to residential crossings

• Pavement markings, improved signage, and reduced speed limit in proximity to stadium area

UM-415 Ritchie Road Truck Way MD 214 (Central Avenue) 96* ROW Restrictions

Elements • 4 lanes

• 25 mph speed limit

• Widened vegetated median equipped with trees, stormwater capture, and native planting or turn lane where appropriate

• No parking

• Wide vegetated landscape buffer with trees and stormwater management features to protect pedestrian infrastructure

Mixed-Use Boulevard: Four Travel Lanes (B)

• Widened, fully connected sidewalks

• Separated one-way bike path on both sides

• Corner bulb-out at south crossing of Central Avenue

• Protected crossing at Truck Way with lit beacon, pedestrian refuge island, traffic pinchpoints to reduce crossing distance

• Speed tables at Truck Way and in proximity to MD 214 (Central Avenue)

UC-428 New Road C –Morgan Boulevard Bishop Peebles Drive Sean Taylor Road 74 Neighborhood Connector B*

Elements • 2 lanes

• 25 mph speed limit

• No median

• On-street parking on both sides

• Wide vegetated landscape buffer with trees and stormwater management features to protect pedestrian infrastructure

• Use parking or other means to protect on-street bike lanes

• Widened, fully connected sidewalks

• Traffic pinchpoints where parking is not appropriate

• Parking-protected bicycle lanes

*Urban Street Design type is modified as described with authorization by the DPW&T Director, per exceptions described on Page 5 of the DPW&T Urban Street Design Standards.

Policy TM 18. Develop a street network around Morgan Boulevard Metro Station to accommodate pedestrian, bicyclists, transit, and automobile trips generated by new development.

TM 18.1: Construct a fine-grained street grid around the station area, incorporating UC-428 in future development scenarios (see Table 11).

TM 18.2: Establish a signalized intersection on MD 214 between Hill Road and Morgan Boulevard.

TM 18.3: Create pedestrian and cyclist connections to Hill Road Park and/or development occurring to the northwest of the Metro station (see Table 25).

Relevant Policies: Policy PF 14

Policy TM 19. Enhance connection to Summerfield Park from Metro, surrounding communities, and employment areas.

TM 19.1: Ensure alignment of the Central Avenue Connector Trail (CACT) provides direct linkage between Summerfield Park and the Metro Station

TM 19.2: Improve neighborhood links to and from Summerfield Park (see Table 25).

TM 19.3: Deve Develop feasible trail connections between Summerfield Park and Thomas G Pullen K-8 Creative and Performing Arts School.

TM 19.4: Construct other trail connections as prescribed in Table 25

Relevant Policies: Policy PF 14

CAPITOL HEIGHTS LOCAL TRANSIT CENTER

Map 29. Capitol Heights Planned Pedestrian and Cyclist Facilities

Source: Prince George’s County Planning Department, GIS Open Data Portal, 2025, https://gisdata.pgplanning.org/opendata/ Note: Full data citation available in Appendix K: Map Citations

Table 12. Capitol Heights Complete and Green Streets

Capitol Heights

UM-405 MD 214 (East Capitol Street) Southern Avenue Maryland Park Drive 114

Elements

• Road diet from 6 to 4 lanes

• 25 mph speed limit in center

• Widened vegetated, raised median equipped with trees, stormwater capture, and native planting

• On-street parking on both sides

• Vegetated landscape buffer with trees and stormwater management features to protect pedestrian infrastructure

• Crossing improvements at Southern Avenue

• Midblock crossing between Southern Avenue and Davey Street, Davey Street and Crown Street

• Lit beacon and striping/pavement markings

Mixed-Use Boulevard: Four Travel Lanes (A)

• Widened, fully connected sidewalks on both sides

• Separated one-way bike path on both sides

• Pedestrian islands at crossings with median

• Close and redesign slip-ramp onto Southern Avenue from MD 214 for pedestrian safety

• Corner bulb-outs at intersection with Southern Avenue to reduce crossing distance, improved signalization and timing, pavement markings

• Lane shifts, pinchpoints, speed tables throughout to reduce speed and calm traffic

• Geometric reconfiguration of roadways intersecting MD 214

UR-400 Chamber Avenue MD 332 (Old Central Ave) Capitol Heights Boulevard 51

Elements

• 2 lanes

• 20 mph speed limit

• No median

• On-street parking

• Vegetated landscape buffer with trees and stormwater management features to protect pedestrian infrastructure

Neighborhood Residential

• Widened, fully connected sidewalks on both sides.

• Shared lane markings

• Midblock crossing with lit beacon

• Speed tables to combat hilly topography

• Close and redesign slip-ramp onto Chamber Avenue from MD 332 for pedestrian safety

UR-400 Capitol Heights Boulevard Chamber Avenue Davey Street 51

Elements

• 2 lanes

• 20 mph speed limit

• No median

• On-street parking

Neighborhood Residential

• Vegetated landscape buffer with trees and stormwater management features to protect pedestrian infrastructure

• Shared roadway markings

• Close and redesign slip-ramp from onto Capitol Heights Boulevard from Dole Street for pedestrian safety

UC-418 Davey Street Western Plan Boundary MD 214 (East Capitol Street 61

Elements

• Road diet from 4 to 2 lanes

• 25 mph speed limit

• No median

• Add parking as needed alongside redevelopment

• Vegetated landscape buffer with trees and stormwater management features to protect pedestrian infrastructure

• Shared roadway markings

Neighborhood Connector A

• Improved pedestrian crossings from Capitol Heights Boulevard, Sultan Avenue, and East Capitol Street

• Corner bulb-out at intersection with MD 214 (East Capitol Street)

• Improved signage and pedestrian signalization for crossing Capitol Heights Boulevard

• Striped crosswalk with signage at Sultan Avenue

UR-412 Maryland Park Drive Southern Avenue Coolidge Street 58 Neighborhood Residential

Elements

• 2 lanes

• 20 mph speed limit

• No median

• On-street parking on both sides with pinchpoints where there is no parking

• Vegetated landscape buffer with trees and stormwater management features to protect pedestrian infrastructure

• Widened, fully connected sidewalks on both sides

• Shared roadway markings

• Striped crosswalks at all intersections with Coolidge Street Speed tables and enhanced signage at intersection with Southern Avenue

• Striped crosswalk at intersection with Davey Street, including corner bulb-outs and signage pointing towards the Metro station

• Corner bulb-outs on northeast and northwest corners of intersection with Coolidge Street

• Pedestrianize and closure of existing Maryland Park Drive to from Coolidge to Central Avenue, direct traffic onto Coolidge Street

Policy TM 20. Improve roadway intersections along East Capitol Street to enhance pedestrian, bicycle, and micromobility access to the Metro stations and nearby parks.

TM 20.1: Close Maryland Park Drive (north) between East Capitol Street and Coolidge Street, as well as the side road between Burgundy Street and Crown Street, to vehicular traffic.

TM 20.2: Realign roadway geometry as follows:

i) Close slip ramp from MD 214 onto Maryland Park Drive South.

ii) Extend Balsam Street and Baltic Street to connect across MD 214.

iii) Adjust Maryland Park Drive (south) intersection with MD 214 between Bugler Street and Balsam Street to allow vehicles to enter and exit from MD 214 and create improved pedestrian visibility.

iv) Expand the signalized pedestrian crossing area along East Capitol Street between Crown Street and Burgundy Street to align with the south leg of Crown Street.

TM 20.3: Construct additional pedestrian crosswalks across East Capitol Street at Davey Road, Coolidge Street, the realigned intersection of Maryland Park Drive and Burgundy Street, Baltic Street, and the extension of Rollins Avenue.

OLD CENTRAL AVENUE NEIGHBORHOOD RETAIL FOCUS AREA

Table 13. Old Central Avenue Complete and Green Streets

Route Id Facility Name From To Min. ROW ROW Type MD 332 (Old Central Avenue)

UC-406 MD 332 (Old Central Avenue) Western Plan Boundary MD 214 (East Capitol Street)

Elements

• 2 lanes

• 25 mph speed limit

• No median

• On-street parking on the north side

• Wide vegetated landscape buffer with trees and stormwater management features to protect pedestrian infrastructure

• Two-way Cycle Track on north side (as part of Central Ave Connector Trail)

• CACT wayfinding, placemaking, and branding elements

UR-431 Suffolk Ave Southern Plan Boundary

Elements

• 2 lanes

• 25 mph speed limit

• No median

332 (Old Central Avenue)

• Supplemental widened, fully connected sidewalks and separated bike lane

• Traffic pinchpoints from Tunic Avenue to Bayou Ave to support new commercial corridor

• Close and redesign slip-ramp onto Chamber Avenue from MD 332 for pedestrian safety

• Geometric reconfiguration to improved intersection

• Intersection crossing markings for cycle track

• Striped crosswalk with signage at Bayou Avenue

• Improved crosswalks and signal for bus access

• On-street parking on west side with time limits to serve as a queuing area for school pick up

• No parking on east side of street, use that space to create a shared-use path

• Widened, fully connected sidewalks

• Corner bulb-outs at intersection with Old Central Avenue to slow traffic towards school

• Increased presence of speed humps and signage indicating speed humps/reduction measures

• Improved pavement markings with speed limit and school presence

Policy TM 21. Calm traffic along Old Central Avenue to promote safe nonmotorized travel.

TM 21.1: Redevelop Old Central Avenue to meet the Neighborhood Connector C standard prescribed by the Urban Street Design Standards (see Table 13).

TM 21.2: Provide two vehicular lanes with no median.

TM 21.3: Construct on-street parking on the north side.

TM 21.4: Use a wide vegetated landscape buffer with trees and stormwater management features to protect pedestrian infrastructure

TM 21.5: Direct bicycle and pedestrian traffic from Old Central Avenue to the CACT, and facilitate movement from the CACT to transit, retail, and other local destinations through signage and wayfinding elements

TM 21.6: Supplement the CACT with widened, fully connected sidewalks and a separated bicycle lane.

Relevant Policies: Policy LU 12 and Policy HD 9

ADDISON ROAD LOCAL TRANSIT CENTER

Map 30. Addison Road Planned Pedestrian and Cyclist Facilities

Source: Prince George’s County Planning Department, GIS Open Data Portal, 2025, https://gisdata.pgplanning.org/opendata/ Note: Full data citation available in Appendix K: Map Citations

Table 14. Addison Road Complete and Green Streets

Addison Road-Seat Pleasant

UM-405 MD 214 (E. Capitol Street/Central Avenue) Maryland Park Drive Cindy Lane

Elements

• Road diet from 6 to 4 lanes

• 25 mph speed limit

• No parking

• Widened vegetated, raised median equipped with trees, stormwater capture, and native planting

• Wide vegetated landscape buffer with trees and stormwater management features to protect pedestrian infrastructure

Boulevard: Four Travel Lanes (B)

• Widened, fully connected sidewalks

• CACT as primary bike/ped facility

• Separated one-way bike path on both sides where CACT is not located

• Traffic calming measures including traffic pinch points, lane shifts

UM-403 Addison Road Wallbridge/Wil burn Drive MD 214 (Central Avenue) 98

Elements • 4 lanes

• 25 mph speed limit

• Median/turn lane where appropriate

• No parking

• Wide vegetated landscape buffer with trees and stormwater management features to protect bicycle infrastructure

• Widened, fully connected sidewalks

• Separated one-way bike path on both sides

• Reduced crossing distance, corner bulb-outs at Walbridge Street /Wilburn Drive

UC-408 Rollins Avenue District Avenue MD 214 (East Capitol Street)

Elements • 2 lanes

• 25 mph speed limit

• No median

• Parking where feasible

• Wide vegetated landscape buffer with trees and stormwater management features to protect pedestrian infrastructure

UC-403 Addison Road MD 214 (Central Avenue) MD 704 (Martin Luther King Jr Highway)

Elements • 2 lanes

• 25 mph speed limit

• No median

• On-street parking on both sides

• Wide vegetated landscape buffer with trees and stormwater management features to protect pedestrian infrastructure

• Use existing parking or other means to protect on-street bike lanes

• Widened, fully connected sidewalks

• Improve crossing at Crown Street

Boulevard: Four Travel Lanes (B)

• Mid-block crossing at St. Margaret's Drive

• Speed tables and raised intersection in proximity to Addison Road-Seat Pleasant Station entrance

• Pedestrian crosswalks and striping on the north and south side of Addison Road at the Metro Station

• Pedestrian island and lit beacons at station entrance

• Potential floating bus stops and transit signal priority (TSP)

• Speed tables to combat topography and speeding

58 Neighborhood Connector (B)

• Widened, fully connected sidewalks

• Painted bicycle lanes

• Midblock crossing between Hanlon Street and MD 332 (Old Central Avenue)

• More frequent speed limit signage and speed humps

• Marked crosswalk on the north and south side of Hanlon Street

74 Neighborhood Connector B

• Traffic pinchpoints where parking is not appropriate

• Mid-block crossing between 69th Place and Baltic Street

• Crosswalk on the north and south side of the intersection at Crown Street

• Improve signalization, pavement marking, and signage at entrance to Goodwin Park

• Realign intersection at Seat Pleasant Drive to be more linear

• Corner bulb-out at intersection with Seat Pleasant Drive to reduce crossing distance and improve pedestrian experience

Elements

• 2 lanes

• 25 mph speed limit

• No median

• On-street parking on both sides

• Widened, fully connected sidewalks on west side

• Shared-use path connection on east side of roadway from CACT to Central High School

• Shared roadway markings

• Implement midblock traffic pinchpoints

• Raised crosswalks, speed tables, lit beacons and school crossing signs at Cabin Branch Road and Central High School entrance

• Install a traffic signal to slow traffic and provide for safer crossing at Cabin Branch Road and Central Avenue

Policy TM 22. Improve non-motorist safety in the Addison Road-Seat Pleasant area through traffic calming and roadway realignment.

TM 22.1: Reconstruct the right-of-way of Addison Road south of Central Avenue to the standards prescribed in Table 14:

i) Install speed tables, reduce crossing distances, and provide pedestrian islands and lit beacons.

ii) Develop off-road, barrier-separated bike lanes.

iii) Mitigate land features that contribute to speeding and unsafe conditions

TM 22.2: Extend Rollins Avenue from its current terminus at Old Central Avenue to East Capitol Street, linking it to an internal road network within the Addison Road-Seat Pleasant Metro Station area.

TM 22.3: Realign roadway geometry as follows:

i) Yacht Place to connect with internal Addison Road-Seat Pleasant Metro area streets rather than East Capitol Street.

ii) Realign Balsam Street to connect with Baltic Street at Central Avenue for improved roadway efficiency.

SUMMERFIELD TOWN CENTER

Map 31. Summerfield Planned Pedestrian and Cyclist Facilities

Source: Prince George’s County Planning Department, GIS Open Data Portal, 2025, https://gisdata.pgplanning.org/opendata/. Note: Full data citation available in Appendix K: Map Citations

Table 15. Summerfield Town Center Complete and Green Streets

Summerfield Town Center

UM-424 Sean Taylor Road Summerfield TAC Sheriff Road/ Brightseat Road 114

Elements • Road diet from 6 to 4 lanes

• 25 mph speed limit

• On-street parking

• Widened, fully connected sidewalks

• Separated one-way bike path on both sides

Mixed-Use Boulevard: Four Travel Lanes (A)

• Widened vegetated raised median equipped with trees, stormwater capture, and native planting or turn lane where appropriate

• Wide vegetated landscape buffer with trees and stormwater management features to protect pedestrian infrastructure

UM-420^ Hill Oaks Road Michele Drive Summerfield TAC 94

Elements • Road diet from 4 to 2 lanes

• 25 mph speed limit

• On-street time-restricted parking with traffic pinchpoints where parking is not present

• Widened, fully connected sidewalks

Mixed-Use Boulevard: Two Travel Lanes (A)

• Widened vegetated median equipped with trees, stormwater capture, and native planting or turn lane where appropriate

• Wide vegetated landscape buffer with trees and stormwater management features to protect pedestrian infrastructure

• Separated one-way bike path on both sides

UM-422^ Bishop Peebles Drive Summerfield TAC Brightseat Road 114

Elements

• Road diet from 6 to 4 lanes

• 25 mph speed limit

• Widened, fully connected sidewalks

• Two-way cycle track on North Side

• Corner bulb-outs, reduced crossing distance, pedestrian island at intersection with Jericho City Drive and Brightseat Road

• Intersection crossing markings for cycle track

UC-425^ New Road A –Summerfield TAC Bishop Peebles Drive Prince

Sports and Learning Complex

Mixed-Use Boulevard: Four Travel Lanes (A)

• Widened vegetated median equipped with trees, stormwater capture, and native planting or turn lane where appropriate

• On-street time-restricted parking with traffic pinchpoints where parking is not present

• Wide vegetated landscape buffer with trees and stormwater management features to protect pedestrian infrastructure

Elements

• 2 lanes

• 25 mph speed limit

• No median

• On-street parking on both sides

• Traffic pinchpoints where parking is not appropriate

UC-426^ New Road B –Summerfield TAC Bishop Peebles Drive) Prince George's Sports and Learning Complex

Elements • 2 lanes

• 25 mph speed limit

• No median

• On-street parking on both sides

• Traffic pinchpoints where parking is not appropriate

• Wide vegetated landscape buffer with trees and stormwater management features to protect pedestrian infrastructure

• Use parking or other means to protect on-street bike lanes

• Widened, fully connected sidewalks

• Wide vegetated landscape buffer with trees and stormwater management features to protect pedestrian infrastructure

• Use parking or other means to protect on-street bike lanes

• Widened, fully connected sidewalks

*Urban Street Design type is modified as described with authorization by the DPW&T Director, per exceptions described on Page 5 of the DPW&T Urban Street Design Standards. ^ Segment limits are generic and represent the conceptual scenarios for Summerfield Town Center

Policy TM 23. Provide trails and shared-use path connections to reduce the barrier effect of the current stadium site for pedestrians and cyclists to access other key sites.

TM 23.1: Increase bicycle and pedestrian connectivity to the Sports and Learning Complex in tandem with Stadium redevelopment.

TM 23.2: Require any redevelopment of the stadium site (or other sites over 40 acres) to include a network of primary and secondary shared-use paths or other pedestrian and bicycle infrastructure.

TM 23.3: Develop neighborhood secondary shared-use paths to connect to Hill Road Park at Willow Hill Court, at the M-NCPPC Owned Properties at 519 Pacer Drive, 7718 Willow Hill Drive, and 7721 Willow Hill Drive, at Mountain View Way, and at Gibbs Way

Relevant Policies: Policy LU 15, Policy PF 19, and Policy PF 20

Scenario 1 (New Stadium Constructed)

Policy TM 24. Manage parking, multimodal mobility, and access to the Stadium site.

TM 24.1: Ensure the construction of UC-425 and UC-426 for any stadium area redevelopment, adhering to standards in Table 15

TM 24.2: Develop a ‘gameday’ strategy for safer multimodal connection along Medical Center Drive between Downtown Largo and the stadium area during events.

TM 24.3: Encourage alternative parking scenarios, including:

i)Time-restricted on-street parking

ii)Event-only parking

TM 24.4: Redevelop existing parking lots to activate the stadium area and support transit expansion.

Figure 45. Stadium Property Parking
PHOTO: M-NCPPC

Relevant Policies: Policy HD 11, Policy HC 15, and Policy PF 19

Scenario 2 (Sports & Wellness Village)

Policy TM 25. Redevelop roadways to support active transportation and improve parking management if the stadium is demolished.

TM 25.1: Ensure construction of UC-425 and UC-426 for any redevelopment of the stadium area, built to standards prescribed in Table 15

TM 25.2: Reevaluate parking need for potential future uses.

Relevant Policies: Policy HD 12, Policy HC 16, and Policy PF 20

MARTIN LUTHER KING JR HIGHWAY - NEIGHBORHOOD RETAIL FOCUS AREA

Map 32. Martin Luther King Jr Highway Planned Pedestrian and Cyclist Facilities

Source: Prince George’s County Planning Department, GIS Open Data Portal, 2025, https://gisdata.pgplanning.org/opendata/. Note: Full data citation available in Appendix K: Map Citations

Route Id Facility Name From To Min. ROW ROW Type

MD 704 (Martin Luther King Jr Highway)

UM-419 MD 704 (Martin Luther King Jr Highway) Eastern Avenue NE Greig St 114

Elements

• 4 lanes

• 25 mph speed limit

• Widened vegetated, raised median equipped with trees, stormwater capture, and native planting, or turn lanes as appropriate

• On-street parking on both sides

• Wide vegetated landscape buffer with trees and stormwater management features to protect pedestrian infrastructure

• Widened, fully connected sidewalks on both sides

• Two-way cycle track as expansion of WB&A bikeway on north side of road

• Intersection crossing markings for cycle track

Mixed-Use Boulevard: Four Travel Lanes (A)*

• Bike-only signalization to allow safe passage across intersections parallel and perpendicular to MD 704 from WB&A trail

• Interpretive signage, wayfinding elements, placemaking strategies.

• Close and redesign slip-ramp onto Eastern Avenue from MD 704 for pedestrian safety

• Midblock crossing with pedestrian island between Addison Road and Eastern Avenue NE

• Corner bulb-outs at Addison Road intersections to reduce crossing distance. Signage, illuminated beacon, and pedestrian island there

*Urban Street Design type is modified as described with authorization by the DPW&T Director, per exceptions described on Page 5 of the DPW&T Urban Street Design Standards.

Policy TM 26. Calm traffic and develop a Complete Street along the redeveloped Martin Luther King Jr Highway.

TM 26.1: Reconstruct Martin Luther King Jr Highway from Eastern Avenue NE to Greig Street to meet the Mixed-Use Boulevard, 4-lanes (type A) standard in the Urban Street Design Standards (see Table 16).

TM 26.2: Limit the number of lanes to a maximum of 4.

TM 26.3: Provide on-street parking.

TM 26.4: Install mid-block crossings with pedestrian islands.

TM 26.5: Maintain a vegetated median or turn lane where appropriate.

TM 26.6: Incorporate traffic calming features such as corner bulb-outs, signage, and illuminated pedestrian beacons.

TM 26.7: Build the WB&A Trail extension along the north side of Martin Luther King Jr Highway east of Greig Street.

Relevant Policies: Policy LU 16, Policy EP 13, Policy HD 13, and Policy PF 21

Table 16. Martin Luther King Jr Highway Complete and Green Streets

Section VII: Natural Environment

PLAN 2035 NATURAL ENVIRONMENT GOAL

Preserve, enhance, and restore our natural and built ecosystems to improve human health, strengthen our resilience to changing climate conditions, and facilitate sustainable economic development.

SECTOR PLAN NATURAL ENVIRONMENT GOAL

To conserve and protect natural resources from development impacts, integrate native plants and trees into new projects, promote sustainability and climate resilience, restore and enhance the green infrastructure network’s natural functions, support ecosystems, safeguard wildlife, expand equitable access to nature, reduce environmental hazards, and improve air and water quality.

Natural Environment Element: Key Topics

• Watershed, waterways, wetlands, and floodplains

• Stormwater management and impervious surfaces

• Green infrastructure network

• Woodlands and tree canopy cover

• Topography, slopes, and soil

• Brownfields

• Air, noise, and light Pollution

Natural Environment Element: Key Questions

• How can established inner-beltway communities balance density and redevelopment with open space equity, climate change adaptation, and environmental protection?

• What opportunities exist to protect, preserve, and enhance elements of the County’s Green Infrastructure Network and urban tree canopy?

Figure 46. Channelized Cabin Branch Stream
PHOTO: M-NCPPC

Existing Conditions

43% of plan area is in Green Infrastructure Network

14%

29% evaluation areas

George’s County Planning Department
Sources: Prince George’s County Planning Department. “Section II Green Infrastructure Plan: A Countywide Functional Master Plan.” The MarylandNational Capital Park and Planning Commission. 2017; 2010 Subregion 4 Master Plan and Sectional Map Amendment; Prince George’s County Planning Department, GIS Open Data Portal

Source: Prince George’s County Planning Department, GIS Open Data Portal, 2025, https://gisdata.pgplanning.org/opendata/. U.S Army Corps of Engineers (USACE), National Inventory of Dams https://nid.sec.usace.army.mil/#/. Note: Full data citation available in Appendix K: Map Citations

Map 33. Watersheds, Streams, Wetlands, and Floodplains

BALANCING GROWTH AND PRESERVATION

Plan 2035 and the 2017 Approved Resource Conservation Plan: A Countywide Functional Master Plan (RCP) recognize the need to balance targeted growth in designated Centers with the need to conserve and preserve the County’s rich environmental resources. Strategy 2.3 of the Countywide Green Infrastructure Plan (pg. 50) recommends the County:

“[a]llow impacts to regulated environmental features as appropriate to accommodate new development and redevelopment within designated Downtowns, Regional Transit Districts, the Innovation Corridor, and Local Centers and where needed to accommodate planned development on constrained sites. Mitigation for these impacts should be provided as close to the area of impact as possible.”

While the established County policy is to allow such impacts, this Sector Plan recommends preserving the Regulated Areas of the Countywide green infrastructure network, while acknowledging that impacts to the Evaluation Areas are unavoidable in the sector.

Source: Prince George's County Planning Department, GIS Data Catalog, 2022, https://gisdata.pgplanning.org/metadata/.

Figure 47. Trees Lining Valleytrail Lane
PHOTO: M-NCPPC
Table 17. Watersheds within the Sector Plan Area

Map 34. Easements and Woodland Conservation Areas

Source: Prince George’s County Planning Department, GIS Open Data Portal, 2025, https://gisdata.pgplanning.org/opendata/ Note: Full data citation available in Appendix K: Map Citations

OPPORTUNITIES AND CHALLENGES*

OPPORTUNITIES

Green Infrastructure, Woodland, and Tree Canopy

• The 2023 Tree Canopy Assessment calls for increased tree cover in innerbeltway areas.

• Updated ordinances expand stream buffers and require forested zones to ensure fair canopy distribution.

• The 2017 Green Infrastructure Plan targets planting in developed areas to boost ecology, air and water quality, and climate resilience.

Equity and Environmental Justice

• Environmentally sensitive development can advance environmental justice.

• Nature-focused design enhances residents' well-being while benefiting the environment.

Greening the Built Environment

• Green infrastructure, like living walls, rooftop gardens, and sustainable drainage, is cheaper to build than retrofit and improves well-being, biodiversity, and climate resilience.

Improving Air and Water Quality

• Expanding tree canopy improves air and water quality.

• Cutting road miles, adding EV charging stations, and promoting transit, biking, walking, and micromobility reduce greenhouse gas emissions.

Brownfield Sites

• Green remediation and placemaking can drive investment in restoring the Addison Road Dumpsite.

Climate Change

CHALLENGES

Channelized streams, impervious surface coverage, and loss of forest and tree canopy, make the plan area more vulnerable to extreme weather events, such as heatwaves, floods, droughts, and wildfires, increasing risks to residents, infrastructure, and ecosystems.

Water Quality

Despite the 2015 Anacostia River Watershed Restoration Plan and the 2018 Western Branch Watershed Restoration Plan being in place with several complete actions, measurable improvements in water quality may take years to become evident.

Slopes and Soil

Steep slopes and challenging soils in the Capitol Heights and Addison Road areas pose significant construction challenges, making development difficult.

Greening the Built Environment

Retrofitting green building features and green infrastructure into existing development can be both challenging and expensive.

*See sources in Major Opportunities and Challenges Section

Policies and Strategies

AREAWIDE

Policy NE 1. Enhance the health and resilience of Regulated Features (streams, wetlands, floodplains, and their buffers) within Environmental Strategy Area 1.

NE 1.1: Assess the conditions of streams, wetlands, and floodplains during the Natural Resource Inventory in the development review process. Where feasible, implement restoration and long-term maintenance strategies such as invasive species management, supplemental planting, and habitat enhancement.

NE 1.2: Develop invasive plant species management plans for Watts Branch, Cabin Branch, and Western Branch of the Patuxent River stream valleys.

NE 1.3: During development application review, recommend proffers or include conditions for developers to fund or implement invasive plant species removal plans and stream valley restoration.

NE 1.4: Maintain and restore forested buffers around streams. 32

NE 1.5: Secure conservation easements on a portion or entirety of the properties identified in Table 31 and Map 35

NE 1.6: Vacate right-of-way for unbuilt roadways where applicable.

Conserving, repairing, restoring, and retrofitting natural areas are key actions to prepare for current and projected impacts of climate change (adaptation) as well as limit the rate of future climate change (mitigation). Encouraging development while improving the adaptive capacity of the natural and human systems is vital. Key actions for adaptation and mitigation require significant financial resources, behavioral changes, and time to be completed.

32 The Maryland-National Capital Park and Planning and Commission. “Part III: Infrastructure Elements Environment.” Approved Subregion 4 Master Plan and Sectional Map Amendment. p. 205. June 2010 https://www.pgplanning.org/resource_library/approvedsubregion-4-master-plan-and-sectional-map-amendment/

Map 35. Properties Recommended for Conservation Easements

Source: Prince George’s County Planning Department, GIS Open Data Portal, 2025, https://gisdata.pgplanning.org/opendata/ Note: Full data citation available in Appendix K: Map Citations

NE 1.7: Remove concrete channel-lined portions and daylight sections of Watts Branch and its tributaries, Cabin Branch and its tributaries, and branches of the Patuxent River.

NE 1.8: Evaluate hydrologic and hydraulic models for flood mitigation strategies

NE 1.9: Advance sustainable development along tributary stream corridors by prioritizing the preservation of natural environmental features, reducing floodplain impacts, and integrating green infrastructure and best management practices into all future development. This strategy supports ecologically responsible growth in alignment with regional transit district objectives.

NE 1.10: Investigate historical industrial dumping along Cabin Branch and other stream valleys and implement necessary remediation

Relevant Policies: Policy NE 5, Policy NE 10, Policy NE 11, Policy NE 13, and Policy NE 14

Policy NE 2. Implement a cost-effective, sustainable, and integrated green infrastructure approach to stormwater management using nature-based solutions to infiltrate, filter, and control runoff. 33

NE 2.1: Reassess the unimplemented Capital Improvement Program and CleanWaterPartnership projects to determine whether green infrastructure alternatives are now feasible.

NE 2.2: Continue to include demonstration projects at public facilities through the CleanWaterPartnership projects, incorporating Environmental Site Design (ESD), LowImpact Development (LID), and Best Management Practices (BMPs).

NE 2.3: Transition from conventional conveyance systems to bioretention ponds, constructed wetlands, tree planting, and other on-site green infrastructure solutions for managing WMATA Metro tunnel discharge

NE 2.4: Construct regional stormwater management facilities with transit-oriented development and mixed-use projects to maximize ecological and hydrological benefits.33

NE 2.5: Implement the dig-once approach to retrofit properties and rights-of-way with stormwater BMPs as redevelopment and street construction/reconstruction occur.

NE 2.6: Implement ESD standards outlined in Section 5.2 of the 2014 Prince George’s County Stormwater Management Design Manual to minimize hydrologic and hydraulic impacts of new development.

NE 2.7: Reinstate the Stormwater Management Alternative Compliance Program to provide taxexempt faith-based organizations and 501(c)3 nonprofit organizations with additional compliance options.

NE 2.8: Redesign the Raincheck Rebate Program and Stewardship Grant Program, administered by the Department of Environment, to better serve low-income property owners, enabling direct payment to certified installers or pass-through intermediaries for installing green infrastructure, including rain gardens, rainwater harvesting systems, and permeable pavers; bioswales, conservation landscapes, and native plantings, and other LID techniques that promote infiltration and reduce runoff

NE 2.9: Evaluate municipal and County-owned vacant lots and large stormwater facilities for opportunities that enhance flood mitigation, groundwater recharge, ecosystem restoration, and watershed improvements to support redevelopment.

NE 2.10: Consider additional mitigation tools to protect Hampton Park development and downstream properties from future flooding events (see Map 33).

33 Prince George’s County Planning Department. M-NCPPC. Approved Water Resources Functional Master Plan. September 2010. https://www.pgplanning.org/resource_library/approved-water-resources-functional-master-plan

NE 2.11: Incorporate underground water studies into development planning to identify and mitigate flood-prone areas, sinkholes, and stormwater retention opportunities.

Relevant Policies: Policy TM 11

The Tree Solutions Now Act of 2021, known as Maryland’s 5 Million Trees (5MT) Initiative, is an initiative to plant and maintain 5 million native trees in Maryland by December 31, 2031.

Policy NE 3. Expand and strengthen the forest and urban tree canopy (Map 36) to mitigate extreme weather, improve stormwater management, enhance ecosystem services, and support public health and well-being.

NE 3.1: Implement the Tree Solutions Now Act of 2021, ensuring at least 500,000 trees are planted in underserved urban census-designated areas. 34 Prioritize native, biodiverse, and fruit-bearing trees that provide shade, stormwater benefits, and fresh food.

NE 3.2: Target tree planting and stewardship in areas that do not meet the 3-30-300 urban forestry rule, with a focus on high impervious surface sites to mitigate heat island effects and reduce runoff.

34 Maryland Department of the Environment (2023) Growing 5 Million Trees in Maryland Progress Report 2021-2023. https://mde.maryland.gov/programs/air/ClimateChange/Documents/5MTStateReport2023%20(1).pdf

Figure 48. Stormwater Management Facility at 403 Brightseat Rd, North Englewood, MD 20785
PHOTO: M-NCPPC

3-30-300

Introduced in 2021 by Professor Cecil Konijnendijk van den Boch, the 3-30-300 rule provides a simple, yet powerful, rule of thumb for where to plant trees and locate green space to improve the health and well-being of residents and provide valuable ecosystem services.

3 - Every resident should be able to see at least 3 trees from their home.

30 - There should be 30 percent tree canopy cover in every neighborhood.

300 – Everyone should be able to walk safely to a park or green space within 300 meters (less than a quarter mile).

Alec Sabatini (2024) “Urban Forestry’s New Benchmark: The 3-30-300 Rule”. PlanITGeo https://planitgeo.com/library/urban-forestrys-new -benchmark-the-3-30-300-rule/

NE 3.3: Require replacement of removed mature trees with native species of comparable canopy size at maturity. Where on-site replacement is infeasible, partner with DoE to plant trees within the watershed to maintain overall canopy coverage

NE 3.4: During new or redevelopment, construct tree trenches along streets and shared-use paths that provide sufficient root space, soil volume, water access, and structural conditions to support long-term tree health and stormwater benefits.

NE 3.5: Conduct corridor-wide landscaping and street tree planting projects, prioritizing native plants and establishing maintenance plans (refer to the Landscape Manual for guidance).

NE 3.6: Develop urban tree management programs and continue to partner with nonprofits, such as Casey Trees, to prioritize, schedule, and budget public tree planting, integrating succession planting to replace aging or removed trees with mature, native canopy species.35

NE 3.7: Conduct community engagement sessions to address concerns and promote the benefits of tree canopy expansion, including succession planting on private property.

NE 3.8: Establish a Tree Stewards program and a Junior Tree Stewards summer program to train volunteers and youth in planting, maintaining, and monitoring trees in public spaces. For example Chesapeake Tree Canopy Network – Maryland Tree Stewards. 35

Relevant Policies: Policy TM 11, Policy NE 18, Policy HD 3, and Policy HD 4

35 Prince George’s County Planning Department. The Maryland-National Capital Park and Planning and Commission. Approved Subregion 4 Master Plan and Sectional Map Amendment. p. 210. June 2010. https://www.pgplanning.org/resource_library/approvedsubregion-4-master-plan-and-sectional-map-amendment/

A stormwater tree trench is a system of street trees connected by an underground structure that manages stormwater runoff. While it looks like a series of tree pits on the surface, beneath the sidewalk, runoff flows into a specially designed system. The water is stored between stones, watering the trees and seeping into the ground. If the system overflows, excess water can bypass it and flow into a regular street drain. https://water.phila.gov/gsi/tools/tree-trench/

PHOTO: M-NCPPC

Source: Prince George’s County Planning Department, GIS Open Data Portal, 2025, https://gisdata.pgplanning.org/opendata/ Note: Full data citation available in Appendix K: Map Citations

Policy NE 4. Enhance vacant land stewardship by empowering communities to maintain and repurpose land as green spaces, community gardens, or recreational areas to improve safety, aesthetics, environmental benefits, and community engagement.

NE 4.1: Uphold property maintenance standards for vacant lots, encouraging invasive species management, tree care and replacement, and native, biodiverse plantings to enhance ecological and visual quality. Consider installing solar-powered lights, cameras, and bollards as safeguards to prevent illegal dumping.

Map 36. Woodland and Tree Canopy Cover

NE 4.2: Following the removal of invasive vegetation and trash, activate and transform vacant lots into pocket parks or green gathering space by implementing recommendations from the Capitol Heights Vacant Lot Strategy considering topographical constraints and community needs.

NE 4.3: Establish a community land trust that acquires vacant land for conservation, open spaces, and urban agriculture through coordination with the Land Bank Authority of Prince George’s County (per CB-065-2024).

NE 4.4: Develop a localized framework for converting vacant land into sustainable community spaces utilizing best practices from the U.S. Forest Service “Green Pattern Book: Using Vacant Land to Create Greener Neighborhoods in Baltimore”.

NE 4.5: Establish an ‘Adopt-a-lot’ or ‘Clean and Green’ program and provide financial and inkind support, including training for community leaders and access to seeds, seedlings, native plants, and gardening tools. Building upon existing natural resources & wildlife stewardship programs offered by the Department of Parks and Recreation.

NE 4.6: Create a garden tool lending program, ensuring public access to equipment for vacant lot stewardship through partnerships with libraries and community centers.

Relevant Policies: Policy LU 3, Policy HD 2, Policy HD 3, Policy HC 5, Policy HC 11, and Policy PF 4

Policy NE 5. Preserve, enhance, and connect the green infrastructure network to protect natural habitats, improve stormwater management, mitigate flooding, and promote ecosystem resilience. See the 2017 ApprovedResourceConservationPlan: ACountywideFunctionalMasterPlan(RCP).

NE 5.1: Strengthen east-west wildlife and habitat corridors, linking Watts Branch, Cabin Branch, and Southwest Branch within the countywide green infrastructure network (Map 37). Maximize conservation easements to permanently protect sensitive environmental areas, especially in network gap areas, to strengthen habitat corridors. See potential priority locations in Table 31 36

NE 5.2: Evaluate land development proposals along Anacostia River tributaries near the Main Stem of the Anacostia River Special Conservation Area (SCA) to ensure no negative impacts and maintain or restore green infrastructure connections as needed.36

NE 5.3: Encourage natural resource restoration as part of redevelopment projects, prioritizing site designs that integrate and extend the countywide green infrastructure network. Limit disturbance to natural areas to only what is necessary for reasonable development.36

NE 5.4: Prioritize on-site mitigation for environmental impacts during development. If on-site solutions are insufficient, use the countywide mitigation database to identify alternative sites within the same drainage area, subwatershed, or watershed.36

Relevant Policies: Policy NE 1, Policy PF 2, and Policy PF 16

36 Prince George’s County Planning Department. The Maryland-National Capital Park and Planning and Commission. Approved Subregion 4 Master Plan and Sectional Map Amendment. p. 200. June 2010. https://www.pgplanning.org/resource_library/approvedsubregion-4-master-plan-and-sectional-map-amendment/

Source: Prince George’s County Planning Department, GIS Open Data Portal, 2025, https://gisdata.pgplanning.org/opendata/. Note: Full data citation available in Appendix K: Map Citations

Policy NE 6. Improve the terrestrial habitats outside the green infrastructure network and stewardship of parks and public open spaces.

NE 6.1: Raise awareness for review and update of HOA rules, in compliance with Section 2-125 of the Real Property Article of the Maryland Code, to ensure native and biodiverse plantings are permitted as alternatives to turf grass.

Map 37. Green Infrastructure Network

NE 6.2: Incorporate native, biodiverse, and edible landscaping standards into municipal and County ordinances to enhance habitat and ecosystem services.

NE 6.3: Develop vegetation management plans to control invasive species, protect existing trees, and enhance natural resources. Partner with nonprofits, such as Chesapeake Climate Action Network.

NE 6.4: Encourage bird-safe building practices, such as the use of bird tape or similar deterrents on windows that reduce bird collision deaths.

Relevant Policies: Policy PF 4

Policy NE 7. Reduce impervious surfaces to improve stormwater infiltration and mitigate urban heat.

NE 7.1: Expand CWAF credits or rebates for developers who restore soil infiltration or replace hard surfaces with permeable pavement, green infrastructure, and vegetation.

NE 7.2: Prioritize green or blue roofs on new and repurposed buildings and redirect roof drains and surface runoff to pervious areas

NE 7.3: Minimize paved surfaces in new and redeveloped sites by reducing driveway lengths and widths, parking space sizes, and overall impervious areas.

NE 7.4: Conduct an inventory of impervious surfaces (e.g., parking lots) to identify areas suitable for removal, shading, or conversion to pervious materials.

Relevant Policies: Policy TM 16

Policy NE 8. Increase user comfort in spaces and reduce air, noise, and light pollution.

Biophilia

Scientific studies support the idea that humans have an innate desire to interact with other forms of life including trees, plants, birds, and other animals and these interactions positively impact mental and physical health.1 A biophilic approach to planning complements resilient and sustainable approaches by focusing on how humans experience nature especially in urbanized places where nature may be less present.² In “14 Patterns of Biophilic Design”, three categories of biophilic design are discussed:

• Nature in Space includes water features, pollinator gardens, green walls, vegetated roofs, and other elements the support the presence of plants, water, and animals and provide the opportunity to see, hear, smell, and feel nature.

• Natural Analogues are murals, sculptures, street furniture, fabrics, and other objects that use shapes, colors, patterns, or material found in nature.

• Nature of the Space focuses on the psychology of space – providing unobstructed views while offering safety or stoking curiosity.³

1. Gaekwad, J. S., Sal Moslehian, A., Roös, P. B., & Walker, A. (2022). A Meta-Analysis of Emotional Evidence for the Biophilia Hypothesis and Implications for Biophilic Design. Frontiers in Psychology, 13, 750245 https://doi.org/10.3389/fpsyg.2022.750245

2. Hurtado, P. (2020). PAS QuickNotes: Biophilia American Planning Association.

3. Browning, W.D., Ryan, C.O., Clancy, J.O. (2014). 14 Patterns of Biophilic Design. New York: Terrapin Bright Green llc. Available from https://www.terrapinbriTheirghtgreen.com/reports/14patterns/

NE 8.1: Apply biophilic design principles to buildings, sidewalks, streetscapes, plazas, parks, and public spaces to integrate natural elements into daily life Update the Landscape Manual to require biophilic design. Implementation could look like vegetated trails and greenways, naturalized streams

with public access, interactive water features in parks and plazas, food forests and community orchards, green roofs on bus shelters, and tree-lined streetscapes.

NE 8.2: Install cooling stations at key locations (e.g., strip malls, large parking lots, sports and learning complex, regional trails) based on high heat islands and time spent outdoors without shade.

NE 8.3: Provide education, technical assistance, and financial incentives to encourage property owners to install air quality monitoring systems in new and existing developments.

NE 8.4: Add landscaping and green buffers along major corridors (Central Ave, Martin Luther King Jr Highway, Addison Rd, Garrett A. Morgan Blvd, and Old Central Ave) and in industrial zones to filter air pollutants and improve air quality.

NE 8.5: Incorporate landforms (e.g., berms), trees, vegetation, and/or walls into site development to buffer visual and auditory impacts from major roadways and noisegenerating uses, such as industrial or entertainment uses, on adjacent neighborhoods.

NE 8.6: Integrate noise reduction measures, such as sound barriers and vegetative buffers, into roadway upgrades and expansions. 37

NE 8.7: Restrict hours of operation for noise-producing activities to ensure compatibility with surrounding residential areas.37

NE 8.8: Prioritize full cutoff lighting and bollard lights to reduce light pollution while maintaining safety in public spaces, parking areas, and pedestrian pathways

NE 8.9: Strengthen County and/or municipal noise ordinances to reduce vehicle noise, particularly from excessively loud or modified vehicles. Explore using noise cameras for enforcement

Relevant Policies: Policy TM 1, Policy TM 11, Policy NE 16, Policy NE 17, Policy HD 3, and Policy PF 7

The Maryland Department of the Environment (MDE) developed the Environmental Justice Screening Tool to combine demographic and socioeconomic indicators, sensitive populations, and pollution exposure and environmental effects to identify underserved and overburdened communities through the lens of environmental justice. In the tool an environmental justice (EJ) score is calculated for each census tract. The final score is then assigned a quartile or ranking within the state of Maryland. A quartile of 75 to 100 percent means higher than 75 percent of the state, or a high environmental justice concern. https://mde.maryland.gov/Environmental_Justice/Pages/EJ-Screening-Tool.aspx

37 Prince George’s County Planning Department. The Maryland-National Capital Park and Planning and Commission. Approved Subregion 4 Master Plan and Sectional Map Amendment. p.207. June 2010. https://www.pgplanning.org/resource_library/approvedsubregion-4-master-plan-and-sectional-map-amendment/

Policy NE 9. Reduce environmental impacts in new construction and renovation.

NE 9.1: Incorporate sustainable design practices in new developments and redevelopment, ensuring compliance with Section 27-61600 Green Building Standards of the Zoning Ordinance. Prioritize additional sustainable building practices, including natural ventilation systems and low-emission materials, in addition to the Green Building Standards requirements.

NE 9.2: Prioritize sustainable rehabilitation and reuse of commercial buildings to minimize resource consumption and reduce carbon emissions, offering an environmentally friendly alternative to new construction.

NE 9.3: Promote energy efficiency in multifamily housing by coordinating with DPIE to streamline permitting and offer incentives such as density bonuses, height increases, and fee waivers for energy-efficient designs.

NE 9.4: Support municipal partnerships with private sector entities specializing in sustainable home construction (e.g., Fairmount Heights Zero-Energy Microgrid project). Relevant Policies: Policy NE 8 and Policy PF 7

Fairmount Heights Net-Zero Energy Homes

“The Housing Initiative Partnership (HIP), a green nonprofit affordable housing developer based in Prince George’s County, along with Pepco and Emera Technologies, have been awarded a $200,000 grant from the Maryland Energy Administration (MEA) to construct a new residential microgrid to power a small subdivision of new Net Zero single family homes in Fairmount Heights, Maryland

The grant builds on efforts catalyzed by an extension of the MEA’s Resilient Maryland program and will support a community solar and battery energy storage system, as well as the associated racking, mounting, and wiring equipment, for six low-to-moderate income households.”1

1 The original text reads “catalyzed by is an extension,” which appears to be a typographical error; wording has been adjusted to reflect the intended meaning. https://news.maryland.gov/mea/2021/04/29/housinginitiative-partnership-pepco-and-emera-technologies-awarded-200000-grant-by-the-maryland-energyadministration-for-innovative-microgrid-community-in-fairmount-heights/

FOCUS AREAS

See below for specific policies and strategies.

MORGAN BOULEVARD REGIONAL TRANSIT DISTRICT

Policy NE 10. Protect and enhance the ecological integrity of the North Branch (of the Southwest Branch) and the Northwest Branch of the Patuxent River.

NE 10.1: Secure conservation easements on a portion or entirety of the properties identified in Table 31 and Map 35.

NE 10.2: Facilitate sustainable development for all properties along the North Branch of the Patuxent River tributaries, ensuring all existing environmental features are preserved and

that floodplain impacts are fully addressed using sustainable building, green infrastructure, and best management practices. The development approach should seek to balance regional transit district growth and environmental stewardship.

NE 10.3: Continue to assess the condition of and upgrade as necessary the following dams to address water control concerns.

i) Summerfield Stormwater Management Pond No. 1 (Chatsfield Way) (State ID 366.00; National ID MD00366): Located north of Summerfield Park near Southwest Branch at 8679 Chatsfield Way, this dam, built in 1994, stands 23 feet high and has a high hazard classification. As of October 3, 2023, the National Inventory of Dams rated its condition as poor. 38 In November 2023, the County and Clean Water Partnership began retrofitting the pond to improve stormwater treatment storage capacity and modify the embankment to meet current safety standards. The pond is being converted from dry to wet to better treat stormwater before it enters the Southwest Branch of the Patuxent.

ii) Summerfield Stormwater Management Pond No. 2 (State ID 625.00; National ID MD00625) 39: South of Summerfield Park near a tributary to the Southwest Branch at 8551 Chatsfield Way. This 15-foot-high dam also has a high-hazard classification. Its condition was similarly rated as poor on October 10, 2023. This County maintained stormwater facility undergoes annual inspections by the MDE and the County. This facility could be included under future Capital Improvement Program expenditures.

Relevant Policy: Policy NE 1

CAPITOL HEIGHTS LOCAL TRANSIT CENTER

OLD CENTRAL AVENUE

Policy NE 11. Protect and highlight Watts Branch stream.

NE 11.1: Facilitate re-naturalization of the Watts Branch channelized tributary and develop the Capitol Heights Greenway linear park and the Old Central Avenue Gateway Plaza

NE 11.2: Secure conservation easements on a portion or entirety of the properties identified in Table 31 and Map 35.

NE 11.3: Facilitate sustainable development for all properties along the Watts Branch tributaries, ensuring all existing environmental features are preserved and that floodplain impacts are fully addressed using sustainable building, green infrastructure, and best management practices. The development approach should seek to balance local transit center growth and environmental stewardship.

38 National Inventory of Dams, “Summerfield Swm Pond No. 1 (Chatsfield Way)”, U. S. Army Corps of Engineers (USACE), accessed June 30, 2025 at https://nid.sec.usace.army.mil/#/dams/system/MD00366/inspections

39 National Inventory of Dams, “Summerfield Swm Pond No. 2”, U. S. Army Corps of Engineers (USACE), accessed November 19, 2024 at https://nid.sec.usace.army.mil/#/dams/system/MD00625/inspections

NE 11.4: Develop a vegetation management plan to remove invasive species, restore native vegetation, and improve water quality, and stream visibility near Watts Branch at Old Central Avenue.

NE 11.5: Implement placemaking, such as murals or storm drain stenciling, to bring attention to Watts Branch at Old Central Avenue.

Relevant Policies: Policy LU 10, Policy NE 1, Policy HD 2, and Policy PF 16

ADDISON ROAD LOCAL TRANSIT CENTER

Policy NE 12. Remediate the Addison Road brownfield site to acceptable levels for redevelopment (Map 38).

NE 12.1: Use phytoremediation as an interim to improve site aesthetics, awareness, and support for remediation funding and redevelopment.

NE 12.2: Determine the highest and best use of the site based on the cost, time, and feasibility of remediation while protecting the adjacent Cabin Branch stream valley.

NE 12.3: Facilitate public-private partnerships to distribute remediation costs and risks, and secure funding for any necessary clean-up.

Relevant Policies: Policy LU 14 and Policy HN 15

Policy NE 13. Protect Watts Branch Stream and Cabin Branch Stream natural connections.

NE 13.1: Secure conservation easements on a portion or entirety of the properties identified in Table 31 and Map 35.

Relevant Policies: Policy NE 1

Phytoremediation uses trees, plants, and soil microbes to remove contaminants from soil, air, and water while preventing stormwater from spreading pollutants. Its effectiveness is typically limited to the depth of plant root zones. Sunflowers are widely used for absorbing toxic materials while supporting pollinators and birds. Other effective plants include ferns, alfalfa, bald cypress trees, grasses, and willows, which help remove organic and inorganic contaminants.

Map 38. Brownfields and Soil Hydrologic Group Rating

Source: Prince George’s County Planning Department, GIS Open Data Portal, 2025, https://gisdata.pgplanning.org/opendata/ Note: Full data citation available in Appendix K: Map Citations

SUMMERFIELD TOWN CENTER

Policy NE 14. Protect, preserve, and enhance natural resources including the Lower Beaverdam Creek tributaries and the green infrastructure network.

NE 14.1: Minimize impacts to the watershed and wetlands and downstream flooding by reducing stream crossings and right-sizing stormwater management facilities.

NE 14.2: Establish a green corridor between the Lower Beaverdam Creek watershed and the Southwest Branch Watershed in the southwest quadrant of the stadium site during redevelopment, enhancing the green infrastructure network.

NE 14.3: Continue to assess the condition of and upgrade as necessary the following dam to address water control concerns.

i) FedExField Stormwater Management Pond No. 1 (State ID 371.00; National ID MD00371): Northwest of the stadium property within the Lower Beaverdam Creek watershed, this dam, built in 1997, is 28 feet high and classified as a high hazard. As of September 25, 2024, the National Inventory of Dams rated it in fair 40 condition. This stormwater management facility is privately maintained and is not inspected by the County.

Relevant Policies: Policy LU 15 and Policy NE 1

Policy NE 15. Address remediation in redevelopment of the stadium property site, located on the Wilson Farm brownfield while protecting the health of adjacent natural resources.

NE 15.1: Investigate contaminants on the site and evaluate remediation options.

NE 15.2: Evaluate phytoremediation as an early intervention to improve the aesthetics of the site as well as draw attention to the site to support remediation funding and redevelopment efforts.

NE 15.3: Facilitate public/private partnerships to share risk and cost of remediation and apply for funding to remediate.

Scenario 1 (New Stadium Constructed)

Policy NE 16. Minimize disturbance to natural features and existing neighborhoods and incorporate access to nature as wellness in the reconfiguration of the stadium.

NE 16.1: Ensure adequate vegetated buffer for light and noise from the stadium and other arena spaces from existing and new residential areas.

NE 16.2: Incorporate biophilic design and green building techniques in the design of multifamily, office, and hospitality uses.

40 National Inventory of Dams, “Fedex Field Pond No. 1,” U. S. Army Corps of Engineers (USACE), accessed June 30, 2025 at https://nid.sec.usace.army.mil/#/dams/system/MD00371/inspections

NE 16.3: Preserve, protect, and highlight wetlands and stream natural features around the property in site design.

Relevant Policies: Policy NE 8

Scenario 2 (Sports and Wellness Village)

Policy NE 17. Minimize disturbance to natural features and existing neighborhoods and incorporate access to nature as wellness in new sports and recreation activities.

NE 17.1: Ensure adequate vegetated buffer for light and noise from the sports field from existing and new residential areas.

NE 17.2: Incorporate biophilic design and green building techniques in the design of multifamily, wellness, and hospitality uses.

NE 17.3: Preserve, protect, and highlight wetlands and stream natural features around the property in site design.

Relevant Policies: Policy NE 8 and Policy HD 12

MARTIN LUTHER KING JR HIGHWAY - NEIGHBORHOOD RETAIL FOCUS AREA

Policy NE 18. Increase forest and tree canopy to improve climate resilience, stormwater management, and public health.

NE 18.1: Prioritize native tree planting and stewardship along Martin Luther King Jr Highway, focusing on areas that do not meet the 3-30-300 tree canopy guidelines (see previous text box).

Relevant Policy: Policy NE 3

Section VIII: Housing and Neighborhoods

PLAN 2035 HOUSING AND NEIGHBORHOODS GOAL

Provide a variety of housing options ranging in prices, density, ownership, and type to attract and retain residents, strengthen neighborhoods, and promote economic prosperity.

SECTOR PLAN HOUSING AND NEIGHBORHOODS GOAL

Retain existing residents while attracting new ones. Maintain the scale and form of the surrounding neighborhood context, preserve existing naturally occurring affordable housing (NOAH), increase the supply of affordable and market-rate housing, provide a range of high-quality housing options for a growing and diverse population, and support residents aging in place.

Housing and Neighborhoods: Key Topics

• Transit Oriented Development (TOD)

• Housing Affordability

• Displacement

• Housing Type Diversity

• Aging in Place

Housing and Neighborhoods: Key Questions

• How can the housing needs of a diverse population be met?

• How will new development in established neighborhoods maintain affordability for all residents?

• How can the unique characteristics of existing places be enhanced by new housing types?

• How will new development address historic inequities in homeownership?

Figure 49. Homes in the Morgan Boulevard Area
PHOTO: M-NCPPC

Existing Conditions

Housing Affordability

Median household income has not increased at the same pace as home values and rent, when comparing 2014-2018 and 2019-2023 ACS periods.

When Housing Units Were Built

Because income isn’t rising at the same rate as costs, many residents are cost burdened (spend more than 30% of income on housing)

47% 30% of Renters of Homeowners

Housing Shortage

more affordable housing units needed statewide, according to the Office of Governor Wes Moore

Of those,

1,125 units are needed in the plan area for home buyers earning < $60,000

Sources: U.S. Census Bureau 2023 American Community Survey 5-Year Estimates; The Office of Governor Wes Moore, priorities.maryland.gov/pages/ housing; U.S. Department of Housing and Urban Development (HUD), CHAS Data, 2014 and 2020.

Prince George’s County Planning Department

Figure 50. Residential Housing Types
Single-Family Detached – Seat Pleasant Duplex – Village Green Mutual Homes
Townhouse – Shady Glen Drive
Townhouse – Garrett Morgan 3-story Townhouses
Single-Family Detached – Millrace Court
Multifamily – Pleasant Homes Apartments on MLK Jr Highway PHOTOS: M-NCPPC

Source: Prince George’s County Planning Department, GIS Open Data Portal, 2025, https://gisdata.pgplanning.org/opendata/ Note: Full data citation available in Appendix K: Map Citations

Table 18. Market -Rate Multifamily Rental Overview Q4 2023

Source: CoStar. “Multifamily Property Data & Analytics.” 2023.

OPPORTUNITIES AND CHALLENGES*

OPPORTUNITIES

Community and Market Support for Diverse Housing

• Strong demand for diverse housing calls for more duplexes, triplexes, cottage courts, and small apartments.

• ADUs boost affordability and help seniors age in place.

• A range of price points supports a more inclusive, mixed-income community.

Historic Context and Residential Character

Capitol Heights and Seat Pleasant, historic streetcar suburbs, retain a unique small-scale residential charm. Protecting this character supports thoughtful growth and preserves their distinct sense of place.

Transit Oriented Development (TOD) Potential

With three Metro stations nearby, the area is primed for transit-oriented development (TOD), which reduces household transportation costs and supports mixed-use growth. WMATA’s Capitol Heights project will add housing and reinforce the area's transit-driven future.

Trail-Oriented Housing Development

The Central Avenue Connector Trail (CACT) will improve mobility and safety while creating opportunities for new housing that connects residential growth with active transportation and recreation.

New Zoning Designations for Housing Diversity

The sectional map amendment (SMA) introduces zoning changes that expand housing options. Residential, commercial, and transitoriented zones will allow a wider range of housing types, fostering diverse income levels and lifestyles.

*See sources in Major Opportunities and Challenges Section

CHALLENGES

Gentrification and Displacement Concerns

Rising property values and rents increase displacement risks, especially for low-income seniors. Past infrastructure projects have fueled these concerns. This sector plan focuses on tenant protections, antidisplacement efforts, and expanding housing options.

Limited Housing Inventory and Slow Construction

Housing shortages across all price points have led higher-income households to occupy lower-cost units, reducing availability for lowand moderate-income residents. The lack of moderately priced homes further restricts opportunities for first-time buyers

Affordability Challenges Across Income Levels

With a median home value of $322,117, homeownership is largely accessible to households earning 100–120% of the Area Median Income (AMI) or higher. Many renters and homeowners face rising costs and financial strain.

Preserving Single-Family Neighborhood Character

Aging homes need repairs and modernization, but new development may not always complement existing community character. Context-sensitive design is essential to balancing preservation with revitalization.

Policies and Strategies

AREAWIDE

Policy HN 1. Develop mixed-income communities with market-rate, attainable, and affordable housing units.

HN 1.2: Provide a range of diverse price points that serve various groups.

HN 1.1: Reduce barriers to affordable housing development:

i) Lower impact fees,

ii) Eliminate parking requirements,

iii) Provide density bonuses,

iv) Offer expedited reviews for affordable housing particularly for households earning less than 50% Area Median Income (AMI).

HN 1.2: Lower affordable housing development costs through:

i) Funding sources: HOME Investment Partnership 41 , Housing Investment Trust Fund 42 , Affordable Housing Bond Finance Program 43 , Community Development Block Grants (CDBG) 44

ii) Tax credits and loan guarantees: Low Income Housing Tax Credit Program 45 , Section 108 Loan Guarantee Program 46

iii) Long-term affordability: Deed-restricted housing programs 47

iv) Local initiatives: Prince George’s County Project-Based Voucher pilot programs 48 , Amazon Housing Equity Fund 49 , Rental Housing Works 50 , Turning the Key 51 , Just Communities 52, and Project Uplift. 53

Relevant Policies: Policy LU 2 and Policy LU 3

41 hud.gov/program_offices/comm_planning/home

42 https://www.princegeorgescountymd.gov/departments-offices/housing-community-development/new-development-andpreservation/housing-investment-trustfund#:~:text=The%20Housing%20Investment%20Trust%20Fund,workforce%20and%20affordable%20housing%20while

43 https://www.princegeorgescountymd.gov/community/housing/housing-authority/affordable-housing-bond-finance-program

44 https://www.princegeorgescountymd.gov/departments-offices/housing-community-development/community-grants-andprograms/community-development-block-grant

45 https://dhcd.maryland.gov/HousingDevelopment/Pages/lihtc/default.aspx

46 https://www.hud.gov/program_offices/comm_planning/section108

47 https://www.localhousingsolutions.org/housing-policy-library/deed-restricted-homeownership/

48 https://www.princegeorgescountymd.gov/community/housing/housing-authority/programs/housing-choice-voucher-program

49 https://www.aboutamazon.com/impact/community/housing-equity

50 https://dhcd.maryland.gov/HousingDevelopment/Pages/rhw/default.aspx

51 https://dhcd.maryland.gov/TurningTheKey/Pages/default.aspx

52 https://dhcd.maryland.gov/Just-Communities/Pages/default.aspx

53 https://dhcd.maryland.gov/HousingDevelopment/Pages/UPLIFT.aspx

Policy HN 2. Increase the supply of diverse housing types to support a growing and varied population.

HN 2.1: Work with developers, Prince George’s County, the State of Maryland and other stakeholders to support and incentivize the development of context-sensitive mediumintensity housing types, such as duplexes, townhomes, and cottage clusters, especially in areas with naturally occurring affordable housing.

HN 2.2: Identify buildable vacant lots for infill housing.

HN 2.3: Promote the development of townhouses in newly zoned RSF-A areas.

HN 2.4: Direct higher-intensity development to center-based zones to maximize density and land use efficiency.

HN 2.5: Update the Prince George’s County Code Subtitle 27: Zoning Ordinance to align with the Housing Expansion and Affordability Act (2024 Maryland House Bill HB538) (“House Bill 538”), which has been codified Land Use Article of the Maryland Code and which expands opportunities for various home types.

HN 2.6: Modernize zoning regulations to support equitable development. Conduct further study on county-wide impacts of changing these regulations for the Residential SingleFamily, 65 (RSF-65) and Residential Single-Family, 95 (RSF-95) Zones.

i) Allowance of additional or accessory units with the conversion of existing homes,

ii) By-right accessory dwelling units (ADUs) (as required by Title 4, Subtitle 5 Land Use Article of the Maryland Code) on the same lot as a primary single-family detached residence,

iii) Micro housing, and

iv) Additional units on corner lots, arterial corridors, and zone edges.

HN 2.7: Consolidate land where lot sizes are do not meet required minimums for residential

Relevant Policies: Policy LU 1 and Policy LU 3

Policy HN 3. Create a nonprofit organization to steward the plan and keep up with changing community needs and to facilitate affordable housing development.

HN 3.1: Create a Central Avenue Corridor Community Housing Development Organization (CHDO) to develop affordable housing in this community.

HN 3.2: Support the housing goals of the CHDO, including:

i) Acquisition and assemblage of land

ii) Affordable housing development

iii) Provision of incentives for housing rehabilitation that does not pass along the cost to tenants

iv) Encouragement of the resolution of code violations

v) Alternative-ownership strategies

vi) Provision of basic home maintenance courses and education, especially for first time homeowners

HN 3.3: Encourage the use of House Bill 538’s qualified project benefits for new construction or substantial renovation on land owned by nonprofits. These benefits include:

i) Density bonuses exceeding the density permitted by local zoning

ii) Limitations on the application of local regulations that impact project costs, density, and viability

iii) Limitations on the number of required public hearings

Relevant Policies: Policy LU 5, Policy HN 4, Policy HN 7, Policy HN 8, and Policy HD 3.

Policy HN 4. Prevent displacement and provide security to vulnerable renters.

HN 4.1: Evaluate areas vulnerable to displacement. Work with municipalities, Prince George’s County Department of Housing and Community Development, and other stakeholders, as appropriate, to continue developing anti-displacement strategies long-term as development and redevelopment occur in the sector plan area.

HN 4.2: Identify and apply appropriate displacement mitigation strategies such as:

i) Inclusionary zoning

ii) Rent stabilization

iii) Tenant right-of-first refusal

iv) Tax burden assistance

HN 4.3: Connect residents with free legal assistance and counseling services to preserve their homes through partnerships with the following organizations:

i) United Communities Against Poverty (UCAP)

ii) Housing Options & Planning Enterprises, Inc. (HOPE)

iii) Housing Initiative Partnerships (HIP)

iv) Sowing Empowerment in Economic Development (SEED)

v) Homefree-USA of the Washington DC Metropolitan Area

vi) Unity Economic Development Corporation (UCDC)

HN 4.4: Encourage the use of Planned Development Zones to add below-market-rate housing

HN 4.5: Coordinate with partners to ensure tenants whose leases are not renewed due to the intent of the property owner to redevelop their property, are connected to secure, safe, affordable housing with similar access to amenities.

HN 4.6: Promote first-time homebuyer education, incentives, and funding programs.

HN 4.7: Enact a ‘right to return’ legislation for residents displaced due to redevelopment.

HN 4.8: Evaluate feasibility of community land trusts, housing trust funds, tenant purchase options, and cooperative ownership Models that create permanent affordability and community ownership.

Relevant Policies: Policy LU 1, Policy HN 3, Policy HN 5, Policy HN 6, and Policy HN 8

Policy HN 5. Preserve naturally occurring affordable housing (NOAH) where it exists.

HN 5.1: Identify NOAH units and support their preservation and rehabilitation in collaboration with the County Department of Housing and Community Development (DHCD) and affordable housing nonprofit.

HN 5.2: Purchase and stabilize multifamily rental properties to ensure long-term affordability through the Right of First Refusal Program

HN 5.3: Increase funding for Right of First Refusal Programs

Relevant Policy: Policy HN 4

Policy HN 6. Rehabilitate and preserve existing homes to foster longevity and improve appearances.

HN 6.1: Determine the success of the Blue Line Corridor Homeowner Rehabilitation Assistance Program and explore additional funding and promotion of this program.

HN 6.2: Inform residents, developers, and municipalities of the programs available for home rehabilitation financing including:

i) Moderate Rehabilitation Program 54

ii) HRAP 55

iii) Prince George’s County Homeownership Preservation Program 56 (PG HOPP)

iv) Maryland WholeHome Program 57 (MD DHCD)

v) Accessible Homes for Seniors 58 (MD DHCD)

vi) Older Adult Home Modification Grant Program 59 (HUD).

Relevant Policies: Policy HN 4, Policy HD 3, and Policy HC 9

54 https://pgccouncil.us/DocumentCenter/View/4043/Housing-Opportunity-for-All_-REPORT

55 https://hiphomes.org/housing-development/hrap/

56 https://habitatmm.org/how-to-apply/home-repair-services-for-homeowners/prince-georges-county-homeownership-preservationprogram-pg-hopp.html

57 https://dhcd.maryland.gov/energy-home-repair/pages/default.aspx

58https://dhcd.maryland.gov/Energy-Home-Repair/Pages/Homeowner-Loans/Accessible-Homes-Seniors.aspx

59 https://www.grants.gov/search-results-detail/356487

Policy

HN 7. Expand housing options and enhance physical accessibility to better serve individuals of all ages and abilities, including older adults and members of the disability community with diverse needs.

HN 7.1: Increase awareness and use of home renovation and improvement programs like Independent Living Tax Credit (MD DHCD) and the Community Legacy Program (MD DHCD).

HN 7.2: Promote nonprofit housing counseling services to help senior homeowners explore options and preserve affordability.

HN 7.3: Collaborate with the County’s Universal Design Implementation Group (established via CR-070-2023) to identify the most appropriate Universal Design features based on resident needs. Equip new homes with these features in Accordance with Division 6 of the Building Code.

HN 7.4: Preserve and construct more affordable, accessible, and senior housing (e.g., Addison Park at 6180 Old Central Avenue) through public-private partnerships.

HN 7.5: Develop intergenerational communities such as co-housing spaces, subsidized intentional intergenerational housing, and apartment complexes with intergenerational programming.

HN 7.6: Attract an assisted living facility for residents who need advanced care.

Figure 51. Gateway Village Senior Housing
PHOTO: M-NCPPC

Policy HN 8. Prevent homelessness and reduce barriers to housing.

HN 8.1: Create transitional and permanent supportive housing.

HN 8.2: Explore the creation of a rapid rehousing program.

i) Identify vacant homes

ii) Form partnerships with owners and landlords

iii) Match participants with fitting residences

iv) Procure funding for move-in assistance, rent, and utility payments for 4-6 months depending on need

v) Stabilize residents through resourcing and appropriate case management

vi) Provide assistance until the risk of homelessness is not present

Figure 52. Existing Men's Transition Center on Addison Road
PHOTO: M-NCPPC

HN 8.3: Obtain Emergency Solutions Grant funding to “link homeless individuals and families to transitional housing, permanent supportive housing and other appropriate housing options.” 60

HN 8.4: Support FY 2025-2030 Capital Improvements Program Item 3.31.0003 to improve existing Men's shelter on Addison Road to better serve county residents in need of stable housing.

HN 8.5: Ensure the location of new or relocated shelters and other supportive and transitional housing is in areas with robust networks of social services, jobs, transit, childcare, counseling, and healthcare options.

Relevant Policies: Policy HN 4 and Policy PF 18

Enterprise Community Partners, Inc. offers a Faith-Based Development Initiative to provide “houses of worship with the knowledge and tools to develop underutilized land into affordable homes and community facilities.” https://www.enterprisecommunity.or g/impact-areas/preservation-andproduction/faith-based-development

Policy HN 9. Use publicly and institutionally owned land to expand housing opportunities and equitable development.

HN 9.1: Identify vacant publicly owned land and offer it as a development subsidy in exchange for affordable housing construction

HN 9.2: Develop housing on public land where adequate public facilities and transit access can support residents.

HN 9.3: Allow Faith Based Organizations (FBOs) to repurpose excess or underutilized land for affordable multi-family housing in single-family zones.

HN 9.4: Incentivize the creation of mixed-use developments with health and wellness components by nonprofits and FBOs. Provide pre-development financial assistance, technical guidance, and networking opportunities with nonprofit developers.

HN 9.5: Integrate housing units into new municipal or County buildings where feasible.

Relevant Policies: Policy HN 8

Policy HN 10. Orient new housing towards existing and proposed trails and public facilities.

HN 10.1: Enable and encourage high-quality context-appropriate development along the CACT and other regional trails.

HN 10.2: Orient new housing to maximize non-motorized access to existing and proposed libraries, community and recreation centers, parks, and schools.

Relevant Policies: Policy TM 5

60 Prince George’s County Department of Housing and Community Development. “Emergency Solutions Grants.” https://www.princegeorgescountymd.gov/departments-offices/housing-community-development/community-grants-andprograms/emergency-solutions-grants

FOCUS AREAS

Policy HN 11. Provide a mix of housing types at a minimum of 12 dwelling units per acre to support transit accessibility and enhance livability while retaining compatibility with existing neighborhoods.

HN 11.1: Use House Bill 538 to the fullest extent to develop affordable and mixed-income housing projects within 0.75 miles of the Metro stations.

HN 11.2: Apply zones that will create a gradual decrease in building density and height as development transitions away from Metro stations, ensuring compatibility with surrounding residential areas.

HN 11.3: Implement inclusive zoning and prioritize the development of an array of housing types, including duplexes, triplexes, and townhomes as transitional densities through the development review process.

HN 11.4: Develop a small lot ordinance and create context-sensitive design standards for infill and medium intensity housing in the plan area.

Relevant Policies: Policy LU 6 and Policy HD 6

MORGAN BOULEVARD REGIONAL TRANSIT DISTRICT

Policy HN 12. Create a transit-oriented community on the vacant land near the Morgan Boulevard Metro Station to increase housing choice and supply.

HN 12.1: Create new high-density transit-oriented-developments including townhomes, and medium-to-large multi-unit apartments with ground-floor retail uses.

HN 12.2: Construct 10-12 story multifamily buildings closest to the station area

HN 12.3: Taper heights down gradually using 4-8 story multifamily residences between the tallest structures at the station and Central Avenue.

HN 12.4: Utilize regional transit district interpretive design elements in new multifamily building design.

Relevant Policies: Policy LU 8 and Policy EP 6

CAPITOL HEIGHTS LOCAL TRANSIT CENTER

Policy HN 13. Expand diverse housing options near Capitol Heights Metro while preserving existing communities.

HN 13.1: Facilitate the joint development of the Capitol Heights Metro Park and Ride lot into 180-200 units of multifamily housing over retail space

HN 13.2: Develop context-sensitive medium-low housing adjacent to the existing channelized stream in Capitol Heights. Use the stream and proposed greenway as a defining element of residential development that combines natural features with proximity to transit.

HN 13.3: Construct dense multifamily housing closest to the Metro station, incorporating small apartment buildings and townhomes, duplexes, and triplexes while adhering to Section 2761200 Neighborhood Compatibility Standards of the Zoning Ordinance. 61 (See Capitol Heights Vacant Lot Strategy, published by M-NCPPC, for additional information). 62

HN 13.4: Increase housing choice through infill development at the following locations:

i) Akin Avenue between Old Central Avenue and Davey Street

61 https://online.encodeplus.com/regs/princegeorgescounty-md/doc-viewer.aspx?tocid=002.006.012#secid-743

62 https://www.pgplanning.org/resource_library/capitol-heights-vacant-lot-strategy/

Figure 53. Town of Capitol Heights, View Looking East from Bayou Avenue
PHOTO BY M-NCPPC

ii) Bayou Avenue between Old Central Avenue and Davey Street

iii) Chamber Avenue between Old Central Avenue and Davey Street

iv) Capitol Heights Boulevard between Old Central Avenue and Dole Street

HN 13.5: Incorporate natural features and steep slopes to the west of Chamber Avenue into site designs to create a unique sense of place and bolster neighborhood aesthetics.

Relevant Policies: Policy LU 9, Policy EP 7, and Policy HN 11

OLD CENTRAL AVENUE

Policy HN 14. Construct housing to support the envisioned redevelopment of Old Central Avenue.

HN 14.1: Develop rowhomes or other attached residences on Old Central Avenue between Quire Avenue and Sultan Avenue.

HN 14.2: Support new low-density housing interwoven with retail and restaurants on properties rezoned to CN along Old Central Avenue between Sultan Street and Rollins Avenue

HN 14.3: Encourage affordable senior housing that facilitates aging in place, leveraging publicprivate partnerships to expand age-restricted housing opportunities.

Relevant Policies: Policy LU 11, Policy HN 7, and Policy HD 9

ADDISON ROAD LOCAL TRANSIT CENTER

Policy HN 15. Expand diverse housing options near the Addison Road-Seat Pleasant Metro Station.

HN 15.1: Transform Addison Plaza through the redevelopment of strip retail into a mix of uses. Construct high-density market-rate and affordable multifamily housing here using the new LTO-C Zoning.

HN 15.2: Facilitate and expedite the development of Park Place at Addison and Addison Park to supply more housing stock.

HN 15.3: Fill in vacant parcels in existing neighborhoods with affordable and attainable smallscale housing (for example, duplexes or quadplexes).

HN 15.4: Partner with St. Margarets Church to develop affordable apartment units on vacant land owned by the Church.

HN 15.5: Explore the feasibility of including housing in future planned development of the brownfield site (following environmental remediation).

Relevant Policies: Policy LU 13, Policy LU 14, Policy EP 9, and Policy NE 12

SUMMERFIELD TOWN CENTER

Scenario 1 (New Stadium Constructed)

Policy HN 16. Construct dense multifamily housing on the parking areas around the Stadium.

HN 16.1: Through redevelopment of the Stadium Area, construct high-density market-rate and affordable 5-6 story apartment buildings.

HN 16.2: Orient new housing to front proposed plazas to facilitate access to the stadium, greenspace, other amenities and fan experiences.

HN 16.3: Activate the ground floor of new residential buildings with gameday and eventoriented commercial uses.

HN 16.4: Incorporate health and wellness components in new residential buildings, possibly obtaining WELL certification, and including in-building gyms and pools, green spaces, spa facilities, and bicycle repair and storage space.

Relevant Policies: Policy LU 15, Policy EP 11, and Policy HC 15

Scenario 2 (Sports & Wellness Village)

Policy HN 17. Develop a diverse range of housing types to support regional wellness & sports facilities.

HN 17.1: Through redevelopment of the Stadium Area, create high-density market-rate and affordable 6-7 story apartment buildings located between sports fields and a central plaza.

HN 17.2: Construct an ‘athletes’ village’ seamlessly connecting residents to health, wellness, and fitness activities.

HN 17.3: Incorporate health and wellness components in new residential buildings, possibly obtaining WELL certification, and including in-building gyms and pools, green spaces, spa facilities, and bicycle repair and storage space.

Relevant Policies: Policy LU 15, Policy EP 12, and Policy HC 16

MARTIN LUTHER KING JR HIGHWAY - NEIGHBORHOOD RETAIL FOCUS AREA

Policy HN 18. Develop housing to support a revitalized commercial corridor fronting Martin Luther King Jr Highway.

HN 18.1: Build context-sensitive townhomes on newly zoned RSF-A properties in the Martin Luther King Jr Highway Focus Area that complement the surrounding retail options.

Relevant Policies: Policy LU 16

Section IX: Community Heritage, Culture, and Design

PLAN 2035 COMMUNITY HERITAGE, CULTURE, AND DESIGN GOAL

Create walkable places that enable social interaction and reflect community character, and preserve and promote our cultural, historic, and rural resources to celebrate our heritage.

SECTOR PLAN COMMUNITY HERITAGE, CULTURE, AND DESIGN GOAL

Heritage: To honor and highlight components of the unique history that are reintegrated and reimagined into future design and create a strong sense of place. Showcase and connect existing cultural assets and historic resources as points of interest that tell a cohesive story.

Culture: To create inviting, well-connected, inclusive spaces that celebrate cultural arts, encourage public gathering, and maximize the benefits associated with the proximity to Metro stations and other modes of public transit.

Design: Integrating natural and built environment elements that enhance harmony, functionality, and comfort while fostering delight and deterring crime.

Community Heritage, Culture, and Design: Key Topics

• Influential Family Legacies

• Placemaking

• Community Pride

• Urban Design

Community Heritage, Culture, and Design: Key Questions

• How can placemaking and urban design celebrate the history and culture of municipalities, neighborhoods, transportation systems, and key families, shaping distinct and memorable places?

• How can beautification efforts and strengthened social connections foster community pride, reinforce identity, and enhance the corridor’s appeal?

• How can crime prevention through environmental design (CPTED) principles be applied to improve safety, security, and overall quality of life for residents and visitors?

PHOTO: M-NCPPC
Figure 54. Cultural Performance at Largo Placemaking Event 2023

Existing Conditions

Historic sites County National Suburban Growth African-American History Themes: Type:

More information can be found in the 2010 Historic Sites and Districts Plan

Addison Chapel & Cemetery, 5610 Addison Road

Site ID: 72-008

Carmody House, 6808 Drylog Street

Site ID: 72-006

Style: Victorian

Ridgeley School, 8507 Central Ave

Site ID: 75A-028

Old St. Margaret’s Church, 6020 Addison Road

Site ID: 72-007-01

Style: Gothic Revival

Webb-Brown/Berry-McKeel House, 7600 Willow Hill Drive

Site ID: 72-016

Style: Victorian

Ridgely Methodist Episcopal Church & Cemetery, 8900 Central Ave

Site ID: 72-005

Historic District Historic Road

A small portion of the Fairmount Heights Historic District recognizes the Town as one of the first planned communities for African-American families in the County.

Source: 2010 Approved Historic Sites and Districts Plan

Highland Park School, 6501 Lowland Drive

Site ID: 72-021

Style: Neoclassical

Gray Residence, 8118 Central Ave

Site ID: 72-061

Style: Modern Ranch

Waring’s Grove, 900 Brightseat Road

Site ID: 72-004

Style: Gothic Revival

Walker Mill Drive/Old Ritchie Road has been documented by historic surveys or maps, and maintains its historic alignment and context through views of natural features, historic sites, structures, or landscape patterns. (Subtitle 23)

Prince George’s County Planning Department

Transportation Impact

Legacy Builders

Early Infrastructure:

Old Central Avenue (MD 332), built in 1878, served as a key rural route for transporting goods.

Streetcars & Railroads: Supported suburban growth near Washington, D.C., leading to municipal incorporation.

Major Corridor Expansion: The MD 214 extension turned Central Avenue into a vital transportation route.

Shaping Development: Transportation investments influenced social, economic, and physical growth in the area.

Music & Entertainment

There was a strong Country/ Bluegrass scene, with venues, like Chubby’s, and The Stoneman Family’s local influence.

Neighborhood Design

Influential Families:

The Berry, Ridgley, Gray, Carmody, and Palmer families

Community Impact: These families established schools, churches, and businesses while shaping local governance. The area has deep connections to African-American history, fostering community development, and progress.

Commercial Design

Urban to Suburban Transition: Features denser homes near Washington, D.C., and larger suburban homes closer to the Beltway.

Varied Architecture: Includes traditional styles like Colonial Revival, Craftsman, and Cape Cod.

Distinct Neighborhoods: Seat Pleasant has bungalows and ranch houses, while Capitol Heights has cottages and detached bungalows.

Former Military Housing: Summerfield, now Villages at Morgan Metro, includes townhomes and apartments.

Basketball Influence

NBA star Kevin Durant supports youth programs in his hometown of Seat Pleasant through his Durant Family Foundation.

Decline of Old Central Avenue: The 1969 MD 214 extension redirected traffic, resulting in business closures and vacant lots.

Current Commercial Issues: Dominated by strip retail with large parking lots and outdated, vacant buildings.

Loss of Community Amenities: Formerly thriving sites like Capitol Theatre and Central Avenue Drive-In are no longer active.

Wilson Farm Redevelopment: The former 282-acre farm now houses the Prince George’s Sports & Learning Complex and a football stadium.

Faith & Support

40+ faith-based institutions provide food aid and affordable housing initiatives.

Sources: Seat Pleasant Community Survey & Capitol Heights and Greater Capitol Heights Community Survey; Henderson, Amanda. “The Sounds of Prince George’s County - Part II.”; Cinema Treasures. “Capitol Theatre.”; Drive-In Theatres of the Mid-Atlantic. “Central Avenue Drive-In.”; 2010 Subregion 4 Master Plan and Sectional Map Amendment; The City of Seat Pleasant. “History.”; Prince George’s County Public Schools. Carmody Hills Elementary. “Our History.”; M-NCPPC. Prince George’s County Planning Department. “The Ridgley Family in Prince George’s County.”; Meyer, Eugene L. The Washington Post. “Base Living With Cheers, a Few Fears.”; 2008 Approved Capitol Heights Transit District Development Plan and Transit District Overlay Zoning Map Amendment; 2000 Approved Addison Road Metro Town Center & Vicinity Sector Plan; Maryland Historical Trust. “State Historic Sites Inventory Form PG 72-44.”

Prince George’s County Planning Department

Map 40. Existing County and National Historic Sites, Resources, and Districts

Source: Prince George’s County Planning Department, GIS Open Data Portal, 2025, https://gisdata.pgplanning.org/opendata/ Note: Full data citation available in Appendix K: Map Citations

OPPORTUNITIES AND CHALLENGES*

OPPORTUNITIES

Rich History and Culture

With over 100 years of history, the area’s municipalities, prominent families, AfricanAmerican legacy, and Native American heritage can be showcased through research, placemaking, wayfinding, and interpretive signage.

Blend of Past and Future

Historic urban design and architecture provide a foundation for new growth through adaptive reuse and thoughtful integration with existing character.

Vibrant Midtown

Reimagining MD 332 (Old Central Avenue) and MD 704 (Martin Luther King Jr Highway) can establish a midtown hub, featuring retail, cohesive urban design, and gateways to D.C. and Metro stations enhanced by art and streetscape improvements.

Social Participation

Events and educational programs led by municipalities and local partners can strengthen community ties, foster pride, and encourage information sharing.

CHALLENGES

Need for More Research

Further studies on past design, public spaces, and cultural assets are essential to understanding the area's unique architectural and cultural identity.

Additional community engagement can reveal defining cultural elements, including faith, music, sports, and food traditions.

Litter and Trash Issues

Dumping and littering in corridors and vacant lots must be tackled through prevention strategies and cultural shifts to discourage these behaviors.

*See sources in Major Opportunities and Challenges Section

Policies and Strategies

AREAWIDE

Policy HD 1. Support efforts to research and preserve historic resources and stories to expand knowledge of County and local history.

HD 1.1: Actively involve community members in future historic surveys, research efforts, and documentation projects to uncover and preserve local heritage themes. 63

HD 1.2: Conduct archaeological investigations (Phase 1 archaeology surveys) before development of vacant parcels near Central Avenue to uncover potential historical findings related to the following:

i) Concord Manor Historic Site

ii) Ridgley/Gray family

iii) Potential undocumented gravesites near the Ridgley Methodist Episcopal Church and Cemetery that may have been disturbed during past roadway expansions.

55. City of Seat Pleasant Veteran Memorial

HD 1.3: Expand and update previously conducted historic surveys for Seat Pleasant (PG 72-007) and Capitol Heights (PG 75A-056) while also identifying and documenting other historic sites in the area. Develop a pattern book or architectural guide that documents traditional architectural styles within the two municipalities to inform the integration of historically significant architectural elements into new development, maintaining alignment with existing height, scale, and character.

HD 1.4: Conduct a study on Native American movement, settlements, and the evolution of early roads from Indigenous pathways 64 partnering with the Anacostia Trails Heritage Area, Inc. 65

HD 1.5: Expand research to evaluate the Cabin Branch stream valley’s historical role in regional development and the necessity of preserving its geologic formations.

63 The Maryland-National Capital Park and Planning Commission, Prince George's County Planning Department. “Approved Historic Sites and Districts Plan.” June 2010. https://www.pgplanning.org/resource_library/approved-historic-sites-and-districts-plan 64Maryland Historical Trust. “Heritage 2031 Maryland’s Statewide Preservation Plan.” https://mht.maryland.gov/Pages/planning/stateplan.aspx#:~:text=Heritage2031%2C%20Maryland's%20statewide%20preservation%20plan,cultural%20heritage%20throughout%20th e%20state

65 https://anacostiatrails.org/

Figure
PHOTO: M-NCPPC

HD 1.6: Explore the area’s musical heritage through a study or music audit, building on The Sounds of Prince George’s County – Part II PALS project, and assess its influence on local culture and identity and how to highlight in future performance spaces

RIDGLEY FAMILY HISTORIC SITES

Ridgley Methodist Episcopal Church and Cemetery (72-005)

Five historic sites in the sector plan area are tied to the Ridgley Family, a prominent African-American family who shaped community development and education for over a century. The Ridgley Rosenwald School (75A-028), built in 1928, is the most notable, providing education to African-American children until the 1950s and serving as a special education center until the 1970s. Restored and reopened as a museum in 2011, it preserves the family’s legacy. Other National Register of Historic Places (NRHP) sites include Ridgley Methodist Episcopal Church and Cemetery (72-005), the William and Mildred Ridgley Gray Residence (72-061), the Deatley and Lilian Ridgley House (72-065), and the Arthur Jr. and Louise Ridgley Farmstead Site (72-043).

HD 1.7: Investigate and document the Palmer family’s contributions to the development of Seat Pleasant and Prince George’s County, including the former George Palmer Property (6815 Eads Street) and the former Seat Pleasant United Methodist Church (501-531 Addison Road South) and install interpretive signage that highlights its historical significance.

HD 1.8: Investigate and document the former Mount Zion Methodist Episcopal Church (1218 Hill Road) and its connection to the Ridgely Family and Seat Pleasant history and install interpretive signage that highlights its historical significance.

HD 1.9: Investigate and document the potential historic structure at Rollins Avenue Park, determining its historical significance and identifying potential preservation strategies.

HD 1.10: Investigate and document the Ridgely Methodist Episcopal Church and Cemetery, ensuring its long-term documentation and preservation. Pursue the preservation and potential acquisition of the site to maintain it as a key historic site.

PHOTO: M-NCPPC

In 2015, the Town of Fairmount Heights was awarded a grant of $75,000 to design and install historic markers identifying 18 historic sites and historic resources. The award came from the Maryland Department of Housing and Community Development (MD DHCD) through its Community Legacy Program

This neighboring municipality provides an example of a method for highlighting African American history in this area and connecting and building upon their African American Signage Trail, established in 2018.

Source: Town of Fairmount Heights https://www.fairmountheightsmd.gov/150/Historic-Places

HD 1.11: Provide and promote financial and technical assistance for current and future historic property owners that support the restoration, maintenance, and preservation of historic properties.

HD 1.12: Develop a community archive by collecting oral histories, photographs, and memorabilia from long-time residents Partner with libraries, a local mobile history museum, or online platforms that store and showcase these materials.

Town of Fairmount Heights Historical Markers
PHOTO: TOWN OF FAIRMOUNT HEIGHTS

Community Archive Examples

The History Project in Boston

This independent nonprofit organization “holds LGBTQ+ historical records and ephemera, supports LGBTQ+ history research, and shares LGBTQ+ history through public exhibits and events” to “pursue its mission of documenting, preserving and sharing the history of the Boston area’s LGBTQ community.” More than 250 collections from organizations and individuals make up the greater than one million documents as a mix of photographs, physical objects, and more.

https://www.historyproject.org/index.php/about

Princeville Mobile History Museum

The mobile museum was constructed while the permanent history museum underwent renovations and houses “temporary exhibits that celebrate and honor this historic community.”

The trailer chassis unit can move freely and distribute information with flexibility.

https://www.coastaldynamicsdesignlab.com/pri ncevillemobilemuseum

HD 1.13: Secure federal land acquisition and easements to preserve and protect the East Corner Boundary Stone Marker (Figure 56) in collaboration with the U.S. and District of Columbia government Obtain National Register of Historic Places designation to ensure long-term recognition and protection

HD 1.14: Strengthen the connection between historic sites and their environmental surroundings by integrating settings into parks, trails, and open spaces through land preservation, parkland dedication, and historic preservation easements.

Relevant Policies: Policy PF 2

Figure 56. East Corner Boundary Stone
PHOTO: M-NCPPC

Policy HD 2. Preserve, celebrate, promote local heritage and develop and improve community gathering spaces. Advance local history education, tourism and cultural engagement, and identity.

HD 2.1: Develop a cohesive branding and wayfinding strategy that honors cultural heritage and enhances navigation Incorporate recommendations from the 2023 Downtown Largo Placemaking, Branding, and Wayfinding Strategy (M-NCPPC) and 2021 Wayfinding Process Manual (M-NCPPC) to include African-American heritage, early settlements, suburban development, transportation history (streetcars and railroads), and agricultural and industrial heritage themes Key elements could include:

i) Human-scale, bilingual signage

ii) Street banners

iii) Public art

iv) Lighting

v) Seating

vi) Waste receptacles

Cultural Celebration Example

Discover Long Branch

This local business league organizes events, promotes and markets participating businesses, and celebrates the cultural heritage of the diverse population in the area thereby supporting small business development, grants for façade improvements and public art. https://discoverlongbranch.com/about/

HD 2.2: Install branding and wayfinding elements and interpretive signage at historic sites, parks, Metro stations, bus stops, Capital Bikeshare stations, and shared-use paths and key trails. Locations could include:

Figure 57. Example of Interpretative Signage at Addison Chapel
PHOTO: M-NCPPC

i) along the planned Central Avenue Connector Trail to highlight historic and cultural themes such as the District of Columbia’s East Corner Boundary Stone, Old Central Avenue commercial corridor, Chesapeake Beach Railroad, suburban neighborhood development, Metrorail construction, Summerfield military housing, contributions of Garrett A. Morgan, and Ridgely Gray family. 66

ii) along the Ridgely Rosenwald School park access road, Truck Way, and Central Avenue in the Morgan Boulevard RTD.

HD 2.3: Establish historic interpretive corridors connecting significant cultural sites through wayfinding and storytelling signage to enhance public accessibility.

i) Include cemeteries on public land, ensuring their preservation and integration into broader historical narratives.

ii) Highlight the connection between Carmody House and Old St. Margaret’s Roman Catholic Church in the historic development of Seat Pleasant.

iii) Highlight the connection between Ridgely Methodist Episcopal Church and Cemetery, Ridgeley Rosenwald School, and William and Mildred Ridgley Gray Residence with Concord Manor (8000 Walker Mill Road) outside the plan area in Walker Mill Regional Park.

iv) Identify Walker Mill Drive/Old Ritchie Road as a historic road.

HD 2.4: Market historic resources and develop a self-guided heritage trail map and brochure.

HD 2.5: Develop a corridor-wide placemaking toolkit to guide the implementation of temporary and permanent installations and identifying potential locations along the corridor, expanding upon the 2023 Downtown Largo Placemaking, Branding, and Wayfinding Strategy. 67

HD 2.6: Install temporary and permanent public art and placemaking elements at key locations identified in Table 32 and Map 41 and into existing and new park spaces listed in Table 33, Table 34, and Table 35 Identify additional sites and installations through ongoing community and stakeholder engagement.

HD 2.7: Expand public art, events, street activation, and cultural programming by partnering with civic groups, nonprofit cultural and heritage organizations, the Prince George’s Arts and Humanities Council, and for-profit entities in arts, culture, music, and education.

66 The Maryland-National Capital Park and Planning Commission, Prince George's County Planning Department. “Central Avenue Connector Trail: Feasibility Study and Implementation Plan.” December 2015. Page 37. https://www.pgplanning.org/resource_library/central-avenue-connector-trail-feasibility-study-and-implementation-plan

67 The Maryland-National Capital Park and Planning Commission, Prince George's County Planning Department. “Downtown Largo Placemaking, Branding, and Wayfinding Strategy.” May 2023. https://www.mncppcapps.org/planning/publications/BookDetail.cfm?item_id=420

HD 2.8: Create a cornerstone park to protect the East Corner Boundary Stone, increase public visibility and access, and celebrate its historic significance with interpretative signage, in collaboration with the U.S. and DC government.

HD 2.9: Expand the Art in Public Places 68 program or similar initiatives to install public art on municipal, County, and M-NCPPC-owned properties, including projects like utility box wraps in the City of Seat Pleasant and Town of Capitol Heights. Form partnerships and engage local artists and students (from Thomas G. Pullen K-8 Creative and Performing Arts School, other local schools, and Prince George’s Community College in Largo) in creative projects.

HD 2.10: Implement relevant recommendations from the 2022 Prince George’s County Cultural Arts Study 69 to strengthen the public art ecosystem and cultural programming.

68 https://www.princegeorgescountymd.gov/departments-offices/central-services/about-ocs/art-public-places

69 https://www.mncppcapps.org/planning/publications/PDFs/408/PGC Cultural Arts Study.pdf

Figure 58. Painted Utility Box and Mural at Darkkar Autobody Repair Center, Yost Place
PHOTOS: M-NCPPC

HD 2.11: Establish an Art in the Right-of-Way program to create traffic calming and public space activation projects at cul-de-sacs, stub street ends, and slip lanes throughout the area

Art in the Right-of-Way in Hyattsville, MD

Art in the Right-of-Way, including horizontal art in crosswalks, alleys, and intersections, is a form of traffic calming that provides visual cues to make drivers more aware and respectful of other road users like pedestrians and bicyclists. https://assets.mica.edu/files/resources/made-you-look_art-in -the-rightof-way-toolkit.pdf

HD 2.12: Establish an arts and culture center to support cultural preservation and prevent cultural displacement. Incorporate spaces for events, performances, art displays, education, and small businesses. Potential locations include Congregational Methodist Church (5806 Crown Street, Tax Account #2007201), Seat Pleasant Fire Station (6305 Addison Road, Tax Account #1995786), additional locations identified through community engagement.

HD 2.13: Integrate performance and event spaces into new or renovated public facilities and open areas.

HD 2.14: In addition to the recommended amenities for the focus areas, create squares, civic greens, and plazas, outside of (to the extent not specifically recommended), but near centers to increase accessible open space and enhance connectivity in established neighborhoods.

HD 2.15: Partner with faith-based organizations to establish community-oriented spaces on their properties, aligning with their community-serving missions.

HD 2.16: Organize street activation events that increase public space visibility, deter crime, and strengthen community pride.

Relevant Policies: Policy LU 7, Policy LU 12, Policy EP 3, Policy TM 5, Policy TM 10, Policy NE 4, Policy NE 8, Policy NE 11, and Policy PF 2

PHOTO: M-NCPPC

Source: Prince George’s County Planning Department, GIS Open Data Portal, 2025, https://gisdata.pgplanning.org/opendata/ Note: Full data citation available in Appendix K: Map Citations.

Policy HD 3. Cultivate community pride and a distinct sense of identity, create inviting streetscapes and vibrant neighborhoods, and revitalize the public realm through intentional and collaborative beautification efforts and design elements.

HD 3.1: Design streetscapes and public spaces with trees, covered areas, and diverse seating to enhance comfort and weather protection. Use landscaping and street trees to define corridors, provide buffers, and improve aesthetics, following the Landscape Manual 70 for plant selection and spacing.

HD 3.2: Apply distinctive paving materials to differentiate transit centers, commercial corridors, and public and private spaces, reinforcing visual identity.

HD 3.3: Incorporate varied architectural accents (e.g., rooflines, cornices, balconies) to add visual interest to buildings.

HD 3.4: Reduce and consolidate curb cuts, introduce small block sizes and gridded street networks in redevelopment areas.

HD 3.5: Limit the use of billboards and bright flashing lights throughout the corridor to maintain visual quality beyond the restrictions of the Prince George’s County Zoning Ordinance Section 27-61500 71 Signage and Section 27-6700 72 Exterior Lighting.

HD 3.6: Underground utility lines to protect mature tree canopy growth and improve climate resilience and aesthetics.

70 https://online.encodeplus.com/regs/princegeorgescounty-md/doc-viewer.aspx?tocid=003

71 https://online.encodeplus.com/regs/princegeorgescounty-md/doc-viewer.aspx?tocid=002.006.015

72 https://online.encodeplus.com/regs/princegeorgescounty-md/doc-viewer.aspx?tocid=002.006.007

Figure 59. Potential Placemaking Site (Triangle between Elmleaf Ave, Dateleaf Ave, and Valley Park Rd)
PHOTO: M-NCPPC

HD 3.7: Incorporate Universal Design and sensory urbanism principles in new residential and non-residential projects, public facilities and spaces, and roadways to enhance accessibility and comfort.

HD 3.8: Align buildings with natural topography, integrating buffers to create refuges for humans and wildlife and interesting viewpoints, while mitigating sound, heat, and air pollution.

HD 3.9: Step down building heights and consider placement and massing on properties adjacent to lower-intensity zones to minimize shadow impacts, ensuring compatibility with adjacent neighborhoods, historic sites, and public spaces beyond what is required by Section 27-61200 73 Neighborhood Compatibility Standards

HD 3.10: Encourage compact development patterns, such as clustering buildings to limit road and pavement requirements and putting parking in the rear, maintaining consistent front building lines, building vertically instead of horizontally, and sharing parking and driveways among multiple properties. Specifically consider shared parking in the rear and driveways in development along major roadways, including Martin Luther King Jr Highway, Central Avenue, Old Central Avenue, Ritchie Road, Morgan Boulevard, and Addison Road, where feasible.

HD 3.11: Launch a corridor-wide outreach and education campaign promoting legal disposal options to reduce litter and illegal dumping Host litter cleanup events for public spaces and neighborhoods, participate in the County DoE Clean Sweep, Comprehensive Community Cleanup Program 74, and Adopt-a-Stream programs, and report efforts using PGCLitterTRAK.

HD 3.12: Install additional trash and recycling receptacles in key public places (e.g., schools, Metro stations, parks, bus stops) with branding elements that reinforce identity

HD 3.13: Expand repair, façade improvement and maintenance programs for homes and businesses, offering funding and assistance for small business owners and renters.

HD 3.14: Assess the feasibility of creating an entity, such as a business improvement association, to oversee marketing, branding, security, maintenance, and beautification efforts, especially in unincorporated communities

HD 3.15: Maintain medians, sidewalks, landscaping, and bus stops through vegetation management, litter collection, and bench and lighting replacements and conduct regular street sweeping to significantly reduce trash entering local streams and stormwater systems.

HD 3.16: Uphold anti-pollution, anti-littering and dumping laws with stricter fines and penalties for violators within stream valleys.

73 https://online.encodeplus.com/regs/princegeorgescounty-md/doc-viewer.aspx?tocid=002.006.012

74 https://www.princegeorgescountymd.gov/departments-offices/environment/sustainability/get-involved/comprehensivecommunity-cleanup-program

HD 3.17: Collaborate with municipalities and community organizations, such as The Central Avenue-Blue/Silver Line Corridor Development Review Advisory Council, and the 20743 Coalition to review proposed corridor developments and address community needs.

Relevant Policies: Policy TM 1, Policy TM 11, Policy TM 16, Policy NE 3, Policy NE 4, Policy NE 8, Policy HN 3, Policy HN 6, Policy HN 7, Policy HN 10, Policy HD 4, and Policy PF 2, Policy PF 4

Policy HD 4. Use design strategies to prevent crime in both public and private spaces.

HD 4.1: Apply Crime Prevention Through Environmental Design (CPTED) principles to new and redevelopment proposals including pedestrian-friendly sidewalks, well-lit and properly scaled parking areas and paths, maintained landscaping and common areas, and clear public-private boundaries using fencing, signage, and landscaping.

HD 4.2: Design buildings, parks, trails, and landscaping to maintain clear sightlines and visible access points, avoiding features that obstruct views.

Figure 60. Litter/Illegal Dumping along Milky Way
PHOTO: M-NCPPC

HD 4.3: Orient lots, streets, and homes to foster neighbor interaction, connect isolated subdivisions, and discourage high-speed or cut-through traffic.

HD 4.4: Provide funding to help commercial and multifamily property owners install security cameras as a surveillance tool to deter crime.

HD 4.5: Promote responsible upkeep of privately-owned vacant lots through supportive compliance strategies, ensuring maintenance standards and fee obligations are met to help deter crime and minimize negative impacts on neighboring properties.

HD 4.6: Host activities in public spaces, such as parks and trails, to enhance visibility and promote social comfort.

HD 4.7: Apply CPTED principles when selecting tree species and understory plantings to ensure safety, visibility, and compliance with the Prince George’s County Landscape Manual.

Relevant Policies: Policy NE 3, Policy HD 2, Policy HD 3, and Policy PF 1

Crime Prevention Through Environmental Design (CPTED)

CPTED as a crime prevention strategy, considers how the design of the physical environment, including buildings or spaces, can help minimize opportunities for crime to occur. There is a focus on

• natural surveillance to increase visibility,

• natural access control to visually demarcate public vs. private spaces,

• territorial reinforcement and maintenance/management to indicate an area is cared for to discourage disorder

https://www.lisc.org/media/filer_public/b2/27/b2278f1b -8f6f-42da-887d15b183f14f7b/lisc_cpted_crime_prevention_screen.pdf

FOCUS AREAS

Policy HD 5. Integrate placemaking and urban design to highlight cultural heritage, strengthen local commerce, and enhance pedestrian experiences.

HD 5.1: Partner with programs, such as Metro's Art in Transit Program 75 to install murals, sculptures, and artistic bus shelters at Metro stations, reinforcing local identity and enhancing station areas as welcoming community gateways.

HD 5.2: Support the activation of Metro stations, public plazas, and neighborhood retail corridors by encouraging small-scale vendors, pop-up retail, food carts, and outdoor dining to foster vibrant streetscapes and uplift local entrepreneurs.

HD 5.3: Position ground-floor retail to face Metro stations and public spaces, capturing pedestrian traffic and maximizing commercial activity. 76

i) Morgan Boulevard RTD - along major roads Central Avenue, Garrett A Morgan Boulevard, and the linear greenway

75 https://www.wmata.com/initiatives/art-in-transit/addison-road.cfm

76 The Maryland-National Capital Park and Planning Commission, Prince George’s County Planning Department. “Approved Subregion 4 Master Plan and Sectional Map Amendment.” June 2010. https://www.pgplanning.org/resource_library/approved-subregion-4-masterplan-and-sectional-map-amendment/

ii) Capitol Heights LTC - along Old Central Avenue and the linear greenway

iii) Summerfield TC – areas with sports, recreation, and wellness uses

iv) Martin Luther King Jr Highway Neighborhood Retail Focus Area - Martin Luther King Jr Highway and public open space

HD 5.4: Establish cohesive streetscapes using consistent plantings and materials aligned with the Landscape Manual 77 . Examples include:

i) Morgan Boulevard RTD: Incorporate lilacs to introduce seasonal color and fragrant appeal.

ii) Capitol Heights LTC: Use pine and oak trees to create visual structure and year-round greenery.

iii) Addison Road LTC: Integrate locust, alder, sycamores, and cedar trees to diversify canopy texture and promote biodiversity. 78 79

iv) Martin Luther King Jr Highway Neighborhood Retail Focus Area: Repeat locust, alder, sycamore, and cedar trees to reinforce district continuity and native character.

HD 5.5: Create a storytelling corridor with interpretive signage at sites along the revitalized Old Central Avenue and Martin Luther King Jr Highway commercial corridors, that tell a cohesive story about the development overtime.

HD 5.6: Explore the Maryland Arts and Entertainment District designation for the corridor.

Relevant Policies: Policy LU 7, Policy EP 3, Policy HD 2, Policy HD 3, and Policy HC 10, Policy HC 12, Policy PF 13

Policy HD 6. Shape inviting, pedestrian-friendly focus areas that are easy to navigate, vibrant, and safe. Incorporate short blocks, strategic clustering, and gradual tapering of building heights to create a harmonious urban landscape.

HD 6.1: Concentrate development intensity and building frontage at the entrance to the Metro station and along major roads. Orient building frontage to the station and street with pedestrian-scale streetscape design elements and necessary parking in the rear or underground. Within the same zones, set the tallest buildings along streets and step-down building heights as transition to existing neighborhoods.

i) Morgan Boulevard RTD - Central Avenue and Garrett A Morgan Boulevard

ii) Capitol Heights LTC - East Capitol Street and Old Central Ave

iii) Old Central Avenue Neighborhood Retail Focus Area - Old Central Avenue to Suffolk Avenue/Sultan Avenue within the Town of Capitol Heights.

77 https://online.encodeplus.com/regs/princegeorgescounty-md/doc-viewer.aspx?tocid=003

78 The Sunday Star. (Washington, D.C.), 18 February 1917. Lib. Of Congress. < https://tile.loc.gov/storageservices/service/ndnp/dlc/batch_dlc_jabbathehut_ver01/data/sn83045462/00280658960/1917021801/0609.pdf>

79 Evening star. [volume] (Washington, D.C.), 12 March 1916. Chronicling America: Historic American Newspapers. Lib. of Congress. <https://chroniclingamerica.loc.gov/lccn/sn83045462/1916-03-12/ed-1/seq-58/>

iv) Addison Road LTC - East Capitol Street/Central Avenue, Old Central Avenue, and Addison Road

v) Summerfield TC - new grid streets and public open spaces

vi) Martin Luther King Jr. Highway Neighborhood Retail Focus Area - Martin Luther King Jr Highway to 69th Place within the City of Seat Pleasant and at its intersection with Seat Pleasant Drive and Addison Road.

HD 6.2: Front the tallest portions of buildings along streets, except for:

i) Morgan Boulevard RTD - buildings along Morgan Boulevard Linear Park between Metro Station and Central Avenue. Buildings on these parcels should have the tallest portions front on Morgan Boulevard Linear Park

ii) Capitol Heights LTC - buildings along the proposed Linear Park between Davey Street and Old Central Avenue. Buildings on these parcels should have the tallest portions of buildings front on the proposed Linear Park.

iii) Where this is not otherwise permitted by Section 27-6900 Multifamily, Townhouse, and Three-Family Form and Design Standards and Section 27-61000 Nonresidential and Mixed-Use Form and Design Standards of the Zoning Ordinance.

Relevant Policies: Policy LU 8, Policy LU 9, Policy LU 12, Policy LU 13, Policy EP 9, Policy TM 16, Policy TM 17, Policy HN 11, Policy HN 12, Policy HD 2, and Policy HD 5

MORGAN BOULEVARD REGIONAL TRANSIT

DISTRICT

Garrett A Morgan (1877-1963)

An inventor and entrepreneur whose witness of a traffic collision between an automobile and a horsedrawn carriage inspired him to create and official patent a three-position traffic signal for traffic control in 1923. Morgan’s traffic T-shaped traffic signal made intersections safer and gas mask invention helped fire fighters.

United States Department of Transportation, Federal Highway Administration. “Safer Stop and Go: Garrett Morgan’s Traffic Signal Legacy Inventor, Invention, and Patent.”

Policy HD 7. Document and highlight remnants of history in the Regional Transit District.

HD 7.1: Thoroughly document and preserve and explore acquisition and adaptive reuse of the former DeAtley and Lillian Ridgley House (7900 Central Avenue, Tax Account #2084143). Add interpretive signage that highlights the location as part of the Ridgley Family history.

HD 7.2: Explore adaptive reuse of the Gray Residence as an art or cultural center, or museum space. If identified for demolition, obtain a Historic Area Work Permit and/or reduce the environmental setting of the historic site. Include signage to commemorate the historic story of the Ridgley Family.

HD 7.3: In any future development of Hill Road Park and/or Ridgeley Park, include a facility and interpretative signage to commemorate the history of the Ridgley Family.

HD 7.4: Enhance the Ridgeley Rosenwald School as a historic and cultural tourism site through improved access, visibility, and events.

HD 7.5: Highlight themes of farming, Ridgley/Gray family history (religion, education, property ownership), and inventor Garrett A Morgan and other African-American inventors in the wayfinding, signage, public art, street furniture, parks and recreation amenities, and public buildings within the center boundary.

HD 7.6: Consider naming any new streets around Garrett A Morgan Boulevard after its namesake’s registered patents or in an inventor theme.

HD 7.7: When private development or redevelopment occurs:

i)Reinforce the Ridgley heritage by re-identifying and re-branding the Jonquil Avenue neighborhood by its original name of Ridgley Manor.

ii)Use the Ridgley name for streets, plazas, parks, etc.

iii) Install displays in public areas that interpret the history of the property and link it to the Ridgeley Rosenwald School and the Ridgely Methodist Episcopal Church & Cemetery.

HD 7.8: Expand the use of decorative paving that incorporates elements of local history and culture.

Relevant Policies: Policy HD 1 and Policy HD 2

Decorative Paving

Decorative paving, as shown in the image, can be a tool used to designate a storytelling corridor with images and descriptive text highlighting historic elements and important community sites. Used in addition to other signage and art elements, can create a walking tour telling a cohesive story of how the area developed.

https://creativedesignresolutions.com/project/largo-sidewalk/

CAPITOL HEIGHTS LOCAL TRANSIT CENTER

Policy HD 8. Document and preserve remnants of history in the Local Transit Center.

HD 8.1: Thoroughly document and preserve and explore adaptive reuse of community identified sites and buildings. For example, the Congregational Methodist Church (5806 Crown Street, Tax Account #2007201) could contain an art or cultural center or museum space.

HD 8.2: Highlight themes of historic suburban development, the Old Central Avenue commercial corridor, and Town of Capitol Heights municipality as a gateway to the District of Columbia in the wayfinding, signage, public art, street furniture, parks and recreation amenities, and public buildings within the center boundary.

PHOTO: M-NCPPC

i) Incorporate consistent themed styles and designs for street furniture for all future development. This furniture could include, but is not limited to, benches, trash receptacles, bicycle racks, light fixtures, banners, bus shelters, kiosks, planters, and bollards.

ii) Use decorative paving to incorporate elements of local history and culture into the streetscape and to designate the boundary of the local center (in similar design to Morgan Boulevard and Largo).

HD 8.3: Brand this center and the Addison Road-Seat Pleasant Local Transit Center as a “midtown” between the District of Columbia and Downtown Largo.

Example of Landscaping Palette

Recommended Street Tree Palette (Figure 49 from the Advancing the Pike District Streetscape Guidelines Page 43)

The Advancing the Pike District Streetscape Guidelines published by the Montgomery County Planning Department in November 2021 provides an example of how a landscaping palette can be used to distinguish different areas. The streetscape guidelines identify types of paving materials, street trees, lighting, and more that should be used to define the Pike District through specific design of public and private streets. https://montgomeryplanning.org/wp-content/uploads/2021/11/Pick-DistrictStreetscape-Guidelines_FINAL_Digital_11-22.pdf

HD 8.4: Install prominent, unique, memorable public gateway signage and/or artwork at the intersection of East Capitol St. NE and Southern Ave SE gateway entrance to the County from the District of Columbia.

HD 8.5: Apply uniform urban design features within the portion of Town of Capitol Heights and extend these features beyond the sector plan boundary within the Town limits as needed.

Relevant Policies: Policy HD 1 and Policy HD 2

OLD CENTRAL AVENUE

Policy HD 9. Orient building frontage, activate streetscapes, and incorporate unique design elements to create an inviting, active, and safe revitalized main street.

HD 9.1: Highlight themes of the Old Central Avenue main street and Town of Capitol Heights municipality as the gateway to the District of Columbia in the wayfinding, signage, public art, street furniture, parks and recreation amenities, and public buildings within the neighborhood retail focus area.

i) Incorporate consistent themed styles and designs for street furniture for all future development. This furniture could include, but is not limited to, benches, trash receptacles, bicycle racks, light fixtures, banners, bus shelters, kiosks, planters, and bollards.

ii) Consider extending the use of brick paving to incorporate elements of local history and culture and designate the boundary of this commercial corridor.

HD 9.2: Should the Main Street Maryland 80 or affiliate program be designated, seek additional technical assistance for branding, marketing, and placemaking efforts to promote the area.

HD 9.3: Install prominent, unique, memorable public gateway signage and/or artwork at the intersection of Old Central Avenue and Southern Ave SE entrance to the County from District of Columbia. Reflect the Old Central Avenue Main Street feel that is desired in this area.

HD 9.4: Develop neighborhood-scale Main Street Design Guidelines that provide guidance for façade improvements of existing buildings, new buildings, street furniture, and landscaping that provides a comfortable and safe environment for pedestrians and bicyclists and activates the streetscape. Guidelines would encourage the incorporation or preservation of unique, historic, or culturally significant building features.

HD 9.5: Orient attached homes to front on Old Central Avenue to create a consistent façade

Relevant Policies: Policy LU 11, Policy LU 12, Policy EP 8, Policy TM 21, Policy HN 14, and Policy HD 5

80 https://dhcd.maryland.gov/Communities/pages/programs/mainstreet.aspx and framing of the sidewalks and streetscape

Figure 61. City of Seat Pleasant and Town of Capitol Heights Gateways
PHOTOS: M-NCPPC

ADDISON ROAD LOCAL TRANSIT CENTER

Policy HD 10. Document and Preserve Remnants of History in the Local Transit Center.

HD 10.1: Prior to the issuance of a demolition permit, thoroughly document the Lyndon Hill Elementary School site (6181 Central Ave) on a Maryland Inventory of Historic Places form to retain details about the site’s significance to the community and the County.

HD 10.2: Explore adaptive reuse of the Seat Pleasant Fire Station (6305 Addison Road, Tax Account #1995786) as art or cultural center, or museum space. Thoroughly document the site on a Maryland Inventory of Historic Places form to retain details about the site’s significance to the community and the County Work with the City of Seat Pleasant and property owner to address hazardous materials issues in the building and consider transfer of ownership to the City.

HD 10.3: Highlight themes of streetcars, railroads, and the City of Seat Pleasant in the wayfinding, signage, public art, street furniture, parks and recreation amenities, and public buildings within the center boundary.

i) Incorporate consistent styles and designs for street furniture for all future development. This furniture could include, but is not limited to, benches, trash receptacles, bicycle racks, light fixtures, banners, bus shelters, kiosks, planters, and bollards

ii) Use decorative paving to incorporate elements of local history and culture and to designate the boundary of the local center (in similar design to Morgan Boulevard and Largo).

HD 10.4: Brand this center and Capitol Heights Local Transit Center as a “midtown” between the District of Columbia and Downtown Largo.

HD 10.5: For any future redevelopment of Addison Plaza Shopping Center, integrate design elements from the former Chesapeake Beach Railroad roundhouse, turntable, and the clock tower.

Relevant Policies: Policy HD 1 and Policy HD 2

SUMMERFIELD TOWN CENTER

Scenario 1 (New Stadium Constructed)

Policy HD 11. In stadium redevelopment, incorporate urban design elements to create an inviting, safe, and fan-oriented environment.

HD 11.1: Create a compact development pattern with short blocks and street grid to facilitate a walkable environment.

HD 11.2: Create a pedestrian-only retail and game-day promenade to connect the stadium to supporting ground-floor commercial uses. Activate the plaza with landscaping, seating, lighting, and public art.

HD 11.3: Create a centralized green open space to provide recreational area to residents of new residential development

HD 11.4: Create interesting scenic viewpoints through road, trail, and building siting and layout.

HD 11.5: Use sports team branding in the design of wayfinding signage, public art, and street furniture to enhance the fan experience and stadium atmosphere.

HD 11.6: Utilize building orientation, landscaping buffers, sound proofing, full cut-off lighting, new technology, etc. to minimize noise and light disturbance from stadium and performance venues on residential areas to the maximum extent possible.

Relevant Policies: Policy LU 15, Policy EP 11, Policy NE 16, Policy TM 24, Policy HD 5, and Policy HC 15

Scenario 2 (Sports & Wellness Village)

Policy HD 12. Scenario 2 (Sports & Wellness Village): In any future redevelopment, incorporate urban design elements to create an inviting, safe, and active sports and wellness environment.

HD 12.1: Create a compact development pattern with short blocks and street grid to facilitate a walkable environment.

HD 12.2: Create interesting scenic viewpoints through road, trail, and building siting and layout.

HD 12.3: Utilize building orientation, landscaping buffers, sound proofing, full cut-off lighting, new technology, etc. to minimize noise and light disturbance from sports fields and recreation activities on residential areas to the maximum extent possible

Relevant Policies: Policy LU 15, Policy EP 12, Policy NE 17, Policy TM 25, Policy HD 5, and Policy HC 16

MARTIN LUTHER KING JR HIGHWAY - NEIGHBORHOOD RETAIL FOCUS AREA

Policy HD 13. Document and Preserve Remnants of History in the Neighborhood Retail Focus Area.

HD 13.1: Document and preserve the former Watkins Hardware Store building (5701 Martin Luther King Jr Hwy, Tax Account #2113298, 2113306, 1993120, 1993138). Explore adaptive reuse as art or cultural center, museum space, or community gathering location.

HD 13.2: Highlight railroad themes in the wayfinding, signage, public art, street furniture, parks and recreation amenities, and public buildings.

i) Incorporate consistent themed styles and designs for street furniture for all future development. This furniture could include, but is not limited to, benches, trash receptacles, bicycle racks, light fixtures, banners, bus shelters, kiosks, planters, and bollards.

ii) Consider the use of decorative paving to incorporate elements of local history and culture and designate the boundary of this commercial corridor.

HD 13.3: Install prominent, unique, memorable public gateway signage and/or artwork at the intersection of Martin Luther King Jr Highway and Eastern Ave NE entrance to the County

Figure 62. Watkins Hardware Store Building (1986)
PHOTO: M-NCPPC

from District of Columbia. Reflect the Martin Luther King Jr Highway “main street” feel that is desired in this area.

HD 13.4: Develop neighborhood-scale Main Street Design Guidelines that provide guidance for façade improvements of existing buildings, new buildings, street furniture, landscaping, etc. that provides a comfortable and safe environment for pedestrians and bicyclists and activates the streetscape. Such guidelines should encourage the incorporation or preservation of unique, historic, or culturally significant building features.

Relevant Policies: Policy TM 26, Policy HD 1, and Policy HD 2

Section X: Healthy Communities

PLAN 2035 HEALTHY COMMUNITIES GOAL

Create safe, connected communities that promote active lifestyles and provide convenient access to healthy foods.

SECTOR PLAN HEALTHY COMMUNITIES GOAL

To improve the health and wellness of residents of all ages and abilities with a focus on nutritious foods, healthcare, and active lifestyles.

• Nutritious Foods: Provide improved access to a variety of nutritious food sources.

• Healthcare: Provide improved access to screening and preventive, emergency, and primary healthcare services.

• Active Lifestyles: To provide the opportunity for passive activity, and encourage active exercise, provide well-lit, well-maintained sidewalks, trails, and shared-use paths that connect residential areas with high-quality recreational facilities, parks and open spaces, Metro stations, and other modes of public transit.

Healthy Communities: Key Topics

• Access to food, especially healthy food

• Health and emergency care

• Active living and recreational opportunities

Healthy Communities: Key Questions

• What aspects of this community create an unhealthy environment? How can they be improved?

• Do residents of this area have access to health care resources, including emergency medical facilities?

• Can residents in this area easily access multiple food options, especially healthy food options?

• Are there areas where residents do not have easy access to recreational opportunities, such as parks, trails, or recreation centers?

Figure 63. Pop-up Farmers Market at Addison Road-Seat Pleasant Metro Station
PHOTO: M-NCPPC

Map 42. Doctor's Offices, Senior Housing, Activity Centers, and Fitness Centers/Gyms

Source: Prince George’s County Planning Department, GIS Open Data Portal, 2025, https://gisdata.pgplanning.org/opendata/. Note: Full data citation available in Appendix K: Map Citations

Source: Prince George’s County Planning Department, GIS Open Data Portal, 2025, https://gisdata.pgplanning.org/opendata/ Note: Full data citation available in Appendix K: Map Citations

In a 2018 Johns Hopkins Center for a Livable Future (CLF) and the Baltimore Food Policy Initiative (BFPI) report on Baltimore City’s Food Environment, HFPA replaced the term ‘food desert’ to clarify what is being measured and recognize there are many elements that shape Baltimore’s food system. That same year mapping of healthy and unhealthy food retailers in Prince George’s County was underway by the Prince George’s Healthcare Action Coalition in collaboration with the Health Department and Prince George's County Food Equity Council. In 2019 the Healthy Department was tasked with developing a HFPA map which built upon the mapping of food retail locations. The first version of the map was launched in 2020. An HFPA in Prince George’s County is an area where:

1) The ratio of healthy to unhealthy food retailers is low,

2) The median household income is below $67,553, the Maryland Self Sufficiency Standard for a family of four, and

3) Over 5.2% of households have no vehicle available.

“Prince George’s County has approved personal property tax credits for grocery stores and licensing and permit fee waivers for food trucks who vend in HFPAs.”

Johns Hopkins Center for a Livable Future (CLF) and the Baltimore Food Policy Initiative (BFPI). (2018) Baltimore’s Food Environment: 2018 Report https://clf.jhsph.edu/sites/default/files/201901/baltimore-city-food-environment-2018-report.pdf

Prince George’s County Department of Health. “Healthy Food Priority Areas Map” Available from https://princegeorges.maps.arcgis.com/apps/dashboards/9f9202c51cc345ab9e0e1aa21a23bb76

Figure 64. Rollins Avenue Park Community Garden
PHOTO: M-NCPPC

OPPORTUNITIES AND CHALLENGES*

OPPORTUNITIES

Transform the Area into a Food Oasis

The plan area has the potential to become a food oasis, offering nutritious, affordable, and culturally relevant food through a network of food production, processing, and distribution sites. Its diverse natural and built environments create opportunities to strengthen the local food system by integrating community gardens, food forests, farmers' markets, and other initiatives within existing community spaces such as churches, schools, and parks.

Metro stations can serve as health and wellness hubs, incorporating spaces for fresh food retailers, healthcare providers, and outdoor markets, making healthy options more accessible via public transit. Expanding urban agriculture through improved land access, financial incentives, and entrepreneurial support can help build a resilient local food economy. Strengthening sidewalks, trails, and bike networks will further connect neighborhoods to essential community amenities, including healthy food and healthcare services.

Transit-Oriented Design for Active Lifestyles

Concentrating density and development around Metro stations allows residents to meet daily needs within a walkable half-mile radius, encouraging more walking and biking for errands while promoting healthier, more active lifestyles.

CHALLENGES

Attracting a Supermarket

Despite demand, the area’s existing population and competition from nearby stores make it difficult to attract a major supermarket or national grocery chain.

Rising Food Prices

Since 2019, steadily increasing food costs have strained household budgets, particularly for those already struggling with housing expenses. Many residents, especially those spending more than 30% of their income on housing, face difficulty affording a healthy diet.

High Costs of Senior Care

Assisted living and memory care facilities remain financially out of reach for many seniors with limited incomes and assets, making affordable elder care a growing concern.

Healthcare Investment Gap

A 2023 County healthcare needs assessment identified a $1.3 billion investment gap in healthcare services within Inner Beltway communities, highlighting the need for expanded medical facilities and resources.

*See sources in Major Opportunities and Challenges Section

Policies and Strategies

AREAWIDE

Policy HC 1. Dedicate efforts to establishing a food oasis and fostering age-friendly, healthy communities.

HC 1.1: Pass a Healthy Eating, Active Living (‘HEAL’) Cities and Towns Campaign resolution 81 and commit to municipal collaboration on initiatives.

HC 1.2: Join AARP’s Livable Communities Network of Age-Friendly States and Communities 82 to access expertise and technical assistance needed to create and implement an age-friendly action plan.

Food Oasis

A food oasis is an area with readily available, affordable, and nutritious food options. Establishing spaces for local food production and businesses and including innovative solutions in development of a food oasis can stimulate the economic revitalization of underserved neighborhoods. https://www.englisheditorialservices. com/business_terms/food-oasis/

HC 1.3: Create an inventory of vacant or underused buildings suitable for conversion to or develop indoor (controlled environment) farming, new local food and beverage entrepreneur incubator space, and shared-use food processing and distribution facility.

HC 1.4: Prioritize the use of edible herbaceous plants, shrubs, and trees in landscaped areas in accordance with Section 4.9 Sustainable Landscaping Requirements 83 of the Landscape Manual. For example, see Seattle Green Factor 84 .

HC 1.5: Designate public facilities and possibly faith-based institutions as emergency food distribution sites.

HC 1.6: Partner with Prince George’s County Food Equity Council to relaunch Prince George’s Fresh 85, a ‘Food as Medicine’ Program allowing medical professionals recommend produce vouchers and nutrition education to increase healthy food access.

HC 1.7: Expand multimodal connectivity to enhance access to the nutritious food network of urban agriculture and retail locations.

Relevant Policies: Policy LU 7, Policy EP 1, Policy TM 1, Policy HN 7, Policy HC 4, Policy HC 6, and Policy PF 7

Policy HC 2. Support the establishment of grocery stores and food retailers that offer high-quality produce, nutritious food, and locally sourced products, ensuring broad access for all residents.

81 https://www.healcitiesmidatlantic.org/

82 AARP. “AARP Network of Age-Friendly States and Communities.” Available from https://www.aarp.org/livable-communities/networkage-friendly-communities/

83https://online.encodeplus.com/regs/princegeorgescounty-md/doc-viewer.aspx?tocid=003.005.009

84 https://www.seattle.gov/sdci/codes/codes-we-enforce-(a-z)/seattle-green-factor

85 https://www.institutephi.org/focus-areas/outreach-and-health-promotion/prince-georges-fresh/

HC 2.1: Expedite development review/permitting process and/or reduce fees for permanent or temporary grocery stores, vendors, and food retailers that sell quality produce, nutritious food, and local products.

HC 2.2: Develop a portfolio of financial and zoning incentives and recognition programs for healthy food retailers in Healthy Food Priority Areas such as Sec. 10-235.26 Healthy Food Priority Area Tax Credit Program of the County Code.

HC 2.3: Partner with neighboring municipalities to convene a work group charged with bringing a full-service grocery store to the area. The work group should collaborate with the Economic Development Corporation (EDC) to meet with grocery store representatives to make the business case for locating a store in the community and work with developers to co-locate a grocery store in mixed-use developments.

HC 2.4: Develop promotional campaigns to build and maintain a customer base that sustains a grocery store.

HC 2.5: Implement community-based strategies that address in-store loss prevention

HC 2.6: Convene an advisory board of food system champions to create a community or neighborhood grocery store. Evaluate governance, ownership, financing, and operating models of community-owned (Co-op), nonprofit owned, or employee-owned grocers and implement the most viable option. Potential advisory members could include: The Capital Market, Prince George’s Soil Conservation District (PGSCD); ECO City Farms, Prince George’s Food Equity Council (FEC), St. Margaret’s of Scotland, The Training Source, Greater Capitol Heights Improvement Corporation, LiSC, and the 20743 Coalition.

HC 2.7: Select existing food retailers to expand the implementation of strategies and recommendations outlined in the December 2022 Prince George’s County Healthy Corner Store Initiative Guidance and Toolkit 86 See the Food Equity Council Healthy Corner Store Initiative. 87

Relevant Policies: Policy LU 8 and Policy EP 2

Residents want a grocery store, but while none exist within the boundary, several are nearby. A 2015 report, Healthy Food for All Prince Georgians, found the area already has “20 more supermarkets than this market would normally support,” suggesting that adding new stores may not address access issues. https://pgccouncil.us/809/Food-Security-Task-Force

In 2023, grocery store profit margins averaged just 2.5 percent, meaning sustainability depends on high sales volumes and a large customer base. Given the area’s current population and presence of nearby retailers, attracting a supermarket or national grocery chain remains unlikely. The core issue is not the total number of stores but rather their uneven distribution, leaving gaps in convenient access for some residents.

BAE Urban Economics. “Central Avenue-Blue/Silver Line Sector Plan Market Study: Existing Conditions and Development Opportunities Analysis.” Page 65. February 2024. Available from https://www.pgplanning.org/wp-content/uploads/2024/08/Central-Avenue-Blue-Silver-Line-SectorPlan-Market-Study-Combined-022124A.pdf

86 https://www.mncppcapps.org/planning/publications/BookDetail.cfm?item_id=415&Category_id=2

87 https://pgcfec.org/our-work/strengthen-the-local-food-economy/healthy-corner-store-initiative/

Community Grocery Store Case Studies

Community-Owned or Cooperative (Co-op) – Greenbelt Co-op, Greenbelt, MD

The Greenbelt Consumer Cooperative, Inc. (https://www.greenbelt.coop/cms/), established in 1984, operates a supermarket and pharmacy and is owned by its members. Individuals pay to become vesting or vested members. Vested members may vote on cooperative business matters, establish operating policies and guidelines, elect and/or serve on a Board of Directors. More info: National Cooperative Business Association https://ncbaclusa.coop/

Nonprofit-owned – Carver Market, Atlanta, GA

Located in Atlanta, GA, the Carver Neighborhood Market (https://www.carvermarket.com/) is wholly owned by FCS Ministries, a nonprofit organization focused on community and economic development, neighborhood engagement, youth development, training, and consulting. The market and café comprise FCS Ministries’ economic development program. The market opened in 2015 with 2,000 square feet of retail space and in 2021 expand to 3,200 square feet. As a nonprofit it has secured grant funding to grow and expand.

Additional Sources: 2022 IRS Form 990; https://fcsministries.org/blog/2016/4/28/right-size-retailand-a-food-oasis/; https://foodtank.com/news/2016/04/addressing-a-food-oasis-with-right-sizeretail

Employee-Owned – Oasis Fresh Foods Market, Indian Head, MD

The Oasis Fresh Foods Market (https://oasisindianhead.com/) located in Indian Head, MD opened in 2024. The grocery store, located on the first floor of a renovated two-story building, is intended to be an independent grocery store with a community garden and adjoining ice cream shop. In 2019 a group of residents formed the Indian Head Food Co-op and convened an advisory council of local community and business leaders. The town secured American Rescue Plan (ARP) funds to initiate the development of the grocery store. The plan is to transition to an employee-owned model after 5 years of operation.

Additional Sources: https://oasisindianhead.com/2022/09/30/mayor-town-stepped-up/; https://mgaleg.maryland.gov/2023RS/bond_initiatives/Indian_Head_Grocery_Initiative.pdf

Policy HC 3. Expand equitable access to quality healthcare programs and services.

HC 3.1: Prioritize healthcare infrastructure in inner beltway communities by creating a publicprivate partnership with health providers, payors, and State leaders to fund the multiphase, multiyear investment in healthcare infrastructure as recommended in the 2023 Assessing Prince George’s County Healthcare and Social Needs and 10+ Year Investment Strategy: Prince George’s County. 88

88 https://www.princegeorgescountymd.gov/sites/default/files/media-document/Prince George%27s County Healthcare and Social Needs Assessment %2B Investment Strategy Final Report-compressed.pdf

HC 3.2: Recruit and train healthcare providers to address specialized needs in dentistry, optometry, geriatric care, and preventative health services for residents. Explore partnerships with the University of Maryland Capital Regional Medical Center and other area healthcare providers.

HC 3.3: Maintain existing and establish new (as necessary) Memorandums of Understanding (MOUs) or Joint Use Agreements with healthcare providers formalizing use of land or parking lots for mobile healthcare at municipal buildings, community and senior centers, libraries, plazas, and parks.

HC 3.4: Expand the Mobile Integrated Healthcare (MIH) program 89 to provide in-home care in zip code 20743.

Relevant Policies: Policy EP 5

Policy HC 4. Grow and support farmers markets, community-supported agriculture, mobile farm markets, and other innovative healthy food retail models to increase accessibility and choice (Map 43).

HC 4.1: Partner with the Capital Area Food Bank, ECO City Farms and other local food organizations to pilot a WMATA Fresh Food Market to sell fresh produce at the Capitol Heights, Addison Road, and Morgan Boulevard Metro Stations.

HC 4.2: Expand financial, technical, and marketing assistance to operators providing weekly, recurring farmers’ markets. Technical assistance should include helping farmers and market operators to apply to be authorized to accept federal and state nutrition program funds (e.g., WIC and SNAP/EBT).

HC 4.3: Maintain existing and establish new (as necessary) MOUs or Joint Use Agreements with farmers market operators formalizing use of land or parking lots for weekly, recurring farmers market at municipal buildings, community and senior centers, libraries, plazas, and parks.

HC 4.4: Partner with faith-based institutions with available space to aggregate produce, honey, and herbs from small, local producers to form a CSA program that accepts SNAP/EBT, WIC, and Seniors Farmers Market Nutrition Program (FMNP).

HC 4.5: Secure funding to expand Curbside Groceries 90 or other mobile farm market sites.

Relevant Policies: Policy HC 1 and Policy HC 6

Public Transit and Fresh Food Partnership Example

In 2015, the Metropolitan Atlanta Rapid Transit Authority (MARTA) partnered with four local food organizations to develop Fresh MARTA Market, a retailer that sells fresh produce at five different transit stations in Atlanta, Georgia. https://www.foodwellalliance.org/casestudy-freshmarta

89 https://www.princegeorgescountymd.gov/departments-offices/fire-emergency-medical-services/emergency-servicescommand/mobile-integrated-health

90 https://curbsidegroceries.org/prince-georges-county/

Policy HC 5. Provide long-term access to land suitable for urban agriculture and increase food production using Section 27-61400 91 Urban Agriculture Compatibility Standards.

HC 5.1: Conduct a comprehensive site selection study to create an inventory of all public land suitable for a variety of urban agriculture activities. Advocate for expansion of the use of public land for urban agriculture, and establish new community gardens, community orchards, and/or food forests/forest gardens within a 10-minute walk of all residents. Explore the addition or expansion of these activities at the following and additional identified locations in the Established Communities:

i) Millwood Park

ii) Peppermill Community Center

iii) Capitol Heights Parks

iv) Capitol Heights South Park

v) Goodwin Park (owned by the City of Seat Pleasant)

vi) Highland Park

vii) John Carroll Park, and viii) explore additional locations identified through community engagement

Food Forest or Forest Garden

Emerson Street Food Forest, Hyattsville, MD

“A food forest, also called a forest garden, is a diverse planting of edible plants that attempts to mimic the ecosystems and patterns found in nature. Generally, we recognize seven layers of a forest garden – the overstory, the understory, the shrub layer, the herbaceous layer, the root layer, the ground cover layer, and the vine layer.”

HC 5.2: Work with the Land Bank Authority of Prince George’s County (as per CB-065-2024) to preserve public and/or private land for long-term use by farmers and land stewards for urban agriculture, community gardens, and/or food forests/forest gardens. For example, NeighborSpace, a Chicago-based nonprofit urban land trust that preserves and sustains gardens on behalf of dedicated community groups.

– Project Food Forest https://projectfoodforest.org/whatis-a-food -forest/

HC 5.3: Partner with Master Gardeners to develop an Intergenerational Garden Initiative Program at Capitol Heights Elementary School, Peppermill Community Center, and Seat Pleasant Community Center Amenities should include garden tables/raised beds at waist height so those who cannot bend or kneel can participate.

HC 5.4: Partner with FBOs to make private land suitable for urban agriculture (community gardens, community orchards, and/or food forests/forest gardens) or to incorporate edible landscaping into development projects.

HC 5.5: Develop the “Grow a Row Community Program” to encourage residents to grow, harvest, and donate fresh produce to area food pantries and food hubs.

HC 5.6: Create a yard sharing program to connect private landowners with those who want to grow food but do not have land. For example, Yard Sharing 92 program in Arlington, VA

91 https://online.encodeplus.com/regs/princegeorgescounty-md/doc-viewer.aspx?tocid=002.006.014

92 https://www.arlingtonva.us/Government/Topics/Urban-Agriculture/Yard-Sharing

HC 5.7: Incorporate edible conservation landscaping into Green and Complete Street initiatives.

Relevant Policies: Policy LU 3, Policy TM 11, and Policy NE 4

Policy HC 6. Promote innovative agricultural practices and cottage food entrepreneurship to strengthen the local food system, extend growing seasons, repurpose underutilized buildings, generate economic and employment opportunities, and increase food security.

HC 6.1: Review and revise building codes to allow for conversion of existing buildings into indoor (controlled-environment) farms.

HC 6.2: Provide financing for the design and construction of new facilities; retrofit, reuse or rehabilitation of existing facilities; and purchase of refrigeration or other equipment to support the growing, processing, or distribution of fresh produce and healthy food.

HC 6.3: Develop a program to train indoor farmers in mechanical systems and plant science.

HC 6.4: Expand financial, technical, and marketing assistance and provide space to craft, cottage, and value-added food producers and distributors

HC 6.5: Permit local cottage food and small-scale value-added food to be sold by neighborhood grocery stores.

HC 6.6: Allow the sale of horticultural or agricultural products where at least 25 percent of the products sold are agricultural products produced on-site at urban farms, community gardens, and market gardens.

Relevant Policies: Policy LU 3, Policy HC 1, and Policy HC 4

Figure 65. Eco City Farms, Bladensburg, MD
PHOTO: M-NCPPC

Policy HC 7. Increase financial and non-financial assistance and incentives available for urban agriculture in healthy food priority areas to support local production and value-added processing.

HC 7.1: Amend Section 9-253 of the Tax Property Article of the Annotated Code of Maryland and Section 10-235.22(b)(1) of the Prince George’s County Code to update the definition of ‘Urban Agricultural property’ to remove the reference to acreage to accommodate vertical indoor farming, such as microgreens. Amend Prince George’s County Code Section 10235.23 (c) to lower the agricultural products’ value threshold to be $1,000 or more per tax year.

HC 7.2: Establish and fund a healthy food/urban agriculture financing or investment fund to provide financing for design and construction of new facilities; retrofit, reuse or rehabilitation of existing facilities; and purchase of refrigeration or other equipment to support the growing, processing, or distribution of fresh produce and healthy food.

HC 7.3: Continue to work with the Soil Conservation District to provide cuttings and seed starts for urban agriculture to residents. Have cool and warm season vegetables, perennial edible plant giveaways along with education and care instructions to encourage at-home growing. Examples of themed giveaways are ‘salsa garden’ (tomato, onion, cilantro) and ‘pizza garden’ (oregano, basil, tomato).

Relevant Policy: Policy EP 2

Policy HC 8. Conduct outreach and provide education, training, and career development in urban agriculture and healthy eating.

HC 8.1: Continue to partner with the University of Maryland Extension to deliver Grow It Eat It classes or workshops to all residents through the Master Gardener Program and to deliver its Maryland Expanded Food and Nutrition Education Program.

HC 8.2: Collaborate with Prince George’s Community College Culinary Arts Center to offer food preparation workshops and classes.

HC 8.3: Collaborate with Prince George’s Community College Garden Club at the Largo campus to offer urban agricultural educational programming.

HC 8.4: As part of the Outdoor Classroom educational specifications include school garden spaces at all schools where students learn important skills while growing food that they can take home. For example, Green Bronx Machine. 93

HC 8.5: Sponsor a community-supported agriculture program where parents and caregivers are provided with a box of produce each week for a period after completing a class or workshop series on nutrition and food preparation.

HC 8.6: Provide training and demonstrations for replacing traditional lawns with edible plants.

Relevant Policies: Policy EP 4 and Policy PF 7

Policy HC 9. Reduce hazards in homes/residential and community buildings that increase risk to health-related issues.

93 https://greenbronxmachine.org/

HC 9.1: Conduct outreach and education to build awareness and understanding of health hazards in the home.

HC 9.2: Collaborate with local home hazard specialists or train and equip inspectors for the Lead and Healthy Homes Program to utilize various hazard assessment tools for targeted testing in homes built before 1980.

HC 9.3: Increase the number of designated Cooling and Warming Centers. Equip new and upgraded public facilities including community centers, libraries, and schools to serve as cooling and warming centers.

HC 9.4: Work with the County Health Department to complete health impact assessments for proposed private development applications for auto-oriented uses, gas stations, fast food restaurants, liquor stores, tobacco and cannabis stores, and convenience stores as explained in Section 27-3406(b) 94 Health Impact Assessments.

Relevant Policies: Policy HN 6 and Policy PF 7

FOCUS AREAS

Policy HC 10. Include fresh food or healthcare components in new or redevelopment and expand equitable access to quality healthcare programs and services, nature, quality open spaces, recreation facilities, and community gathering spaces in the focus areas.

HC 10.1: Promote mixed-use multifamily residential development projects that include fresh food or healthcare components including, but not limited to, ground-floor grocery store, controlled-environment food production, rooftop farming, edible landscaping, urgent care clinics, dental offices, mental health practitioners, chiropractors, homeopathic healers, osteopathic practitioners.

HC 10.2: Explore establishing an interactive “teaching farm” north of the Morgan Boulevard Metro Station (south of Sheriff Road) to improve healthy food access and education about the area’s farming history.

HC 10.3: Permit food hubs, small-scale food processing, and cold storage plant or distribution center in LTO-Core, LTO-Edge, RTO-L Core, and RTO-L Edge by Special Exception. These uses could be incorporated into mixed-use developments, complement other commercial uses, and be easily accessed by the local food distribution network.

HC 10.4: Co-locate multispecialty healthcare clinics with TOD mixed-use projects at each Metro station.

HC 10.5: Design the built environment with a mix of uses within a half mile radius of a metro station and a network of sidewalks, bicycle lanes, shared-use paths to promote active lifestyles where residents can walk or bike on errands to fulfill their daily needs.

Relevant Policies: Policy TM 3, Policy HC 3, and Policy PF 13

94 https://online.encodeplus.com/regs/princegeorgescounty-md/doc-viewer.aspx?tocid=002.003.004.006

Policy HC 11. Provide long-term access to land suitable for urban agriculture and increase food production using Section 27-61400 Urban Agriculture Compatibility Standards in focus areas. 95

HC 11.1: Conduct a comprehensive site selection study to create an inventory of all public land suitable for a variety of urban agriculture activities. Advocate for expansion of the use of public land for urban agriculture, and establish new community gardens, community orchards, and/or food forests/forest gardens within a 10-minute walk of all residents Explore the addition or expansion of these activities at the following and additional identified locations.

i) Morgan Boulevard RTD:

(1) Summerfield Park.

(2) Rollins Avenue Park

(3) Explore the possibility of creating a Demonstration Garden‘Celebrating African Roots Kitchen Garden and Orchard’ at the Ridgeley Rosenwald School to bring year-round programming to the school that focuses on Black food history and culture in the area.

ii) Capitol Heights LTC:

(1) Reopen the Town of Capitol Heights Community Garden

(2) Maryland Park

(3) Partner with Gateway Village Senior Housing to create an Intergenerational community garden at Capitol Heights Elementary School.

iii) Summerfield TC:

(1) Sports and Learning Complex

iv) Martin Luther King Jr Highway Neighborhood Retail Focus Area:

(1) Partner with the City of Seat Pleasant to create an intergenerational community garden at the Seat Pleasant Community Center/Seat Pleasant Park.

Relevant Policies: Policy LU 3 and Policy NE 4

ECO City Farm Teaching Farm

PHOTO: M-NCPPC

ECO City Farm’s Beginning Farmer Training Program helps new farmers learn the information and practice the skills they need to be successful at farming. The program covers many topics including nursery management, composting, farm systems management, marketing and finances, infrastructure and tools, soil health, and crop health and maintenance. https://www.ecoffshoots.org/educati on/beginning-farmer-trainingprogram/

95 The Maryland-National Capital Park and Planning Commission, Prince George’s County Planning Department. “Urban Agriculture A Tool for Creating Economic Development and Healthy Communities in Prince George’s County, MD.” September 2012.Page 98. Available from https://www.mncppcapps.org/planning/publications/pdfs/259/Urban%20Agriculture%20Report%202012.pdf

Policy HC 12. Create neighborhood health and wellness hubs near the Capitol Heights and Addison Road Metro Stations.

HC 12.1: Create an inventory of vacant or underused buildings suitable for conversion to or develop new local food & beverage entrepreneur incubator space that includes a community commercial kitchen, business planning support, and co-working space.

Relevant Policies: Policy LU 3, Policy EP 1, and Policy HD 5

MORGAN BOULEVARD REGIONAL TRANSIT DISTRICT

Policy HC 13. Create a regional food hub near the Morgan Boulevard Metro Station.

HC 13.1: Co-locate a site for aggregation, processing, and distribution, with the planned market/food hall.

HC 13.2: Create a public-private partnership to develop a local food and beverage entrepreneur incubator space that includes a community commercial kitchen, business planning support, and co-working space.

Relevant Policies: Policy LU 9, Policy EP 6, and Policy PF 15

CAPITOL HEIGHTS LOCAL TRANSIT CENTER

See Focus Areas section above.

OLD CENTRAL AVENUE

Policy HC 14. Partner with institutional entities to provide long-term access to land suitable for urban agriculture and increase food production within the Old Central Avenue Neighborhood Retail Focus Area.

HC 14.1: Partner with First Baptist Church of Capitol Heights to incorporate a community orchard, and/or food forests/forest gardens into planned development projects.

Relevant Policy: Policy LU 12

ADDISON ROAD LOCAL TRANSIT CENTER

See Focus Areas section above.

SUMMERFIELD TOWN CENTER

Scenario 1 (New Stadium Constructed)

Policy HC 15. Expand equitable access to quality healthcare, urban agriculture, and wellness programs and services.

HC 15.1: Locate healthcare and wellness uses (fitness center/studio, open space, community garden, etc.) in mixed-use projects.

HC 15.2: Provide safe and accessible sidewalks, pedestrian crossings, bicycle paths and amenities, and micro-mobility amenities that connect neighborhoods to entertainment and wellness activities. Highlight multimodal connections to promote active living.

Relevant Policies: Policy TM 24, Policy HN 16, and Policy HD 11

Scenario 2 (Sports & Wellness Village)

Policy HC 16. Develop a mixed-income, multigenerational residential community centered around sports and wellness, while expanding equitable access to quality healthcare, urban agriculture, and comprehensive wellness programs and services.

HC 16.1: Locate healthcare clinics, especially related to the sports medicine specialty, to complement sports venues and fields.

HC 16.2: Locate wellness uses (fitness center/studio, open space, community garden, etc.) in mixed-use projects

HC 16.3: Provide safe and accessible sidewalks, pedestrian crossings, bicycle paths and amenities, and micro-mobility amenities that connect neighborhoods to sports, recreation, and wellness activities Highlight multimodal connections to promote active living

HC 16.4: Incorporate a senior housing component into future residential developments.

Relevant Policies: Policy TM 25, Policy HN 17, and Policy HD 12

MARTIN LUTHER KING JR HIGHWAY - NEIGHBORHOOD RETAIL FOCUS AREA

See Focus Areas section above.

Section XI: Public Facilities

PLAN 2035 PUBLIC FACILITIES GOAL

Enhance the quality of life and economic competitiveness of Prince George’s County through the efficient, equitable, and strategic siting of education, public safety, water and sewer, solid waste, and parks and recreation facilities.

SECTOR PLAN PUBLIC FACILITIES GOAL

To highlight the expanding network of existing and planned facilities including public gathering and green spaces that serve people of all ages and abilities. Provide high-quality and equitable public safety, public education, and recreational opportunities that create a vibrant, safe, connected community environment, great quality of life, and catalyze economic growth.

Public Facilities: Key Topics

• Public Safety/Community Policing

• Parks & Recreation

• School Capacity

Public Facilities: Key Questions

• How can community policing and crime prevention programs reduce public safety issues and citizen fear?

• How will new and upgraded parks and recreation facilities address programing gaps for all residents, but especially for the elderly and young adults?

• How can investments in public facilities catalyze economic development, stimulate employment growth, and strengthen neighborhoods?

Figure 66. Carmody Hills Elementary School
PHOTO: M-NCPPC

Existing Conditions

Public Schools

As of 2024 enrollment, all schools in the plan area fall within, or below, PGCPS’s preferred utilization range of 80-95%.

1 middle school

1 high school

Public Safety

Prince George’s County Police Department

• Two municipal police departments

WMATA Transit Police

M-NCPPC Park Police

Crime rates declined until 2021, when they began to rise

Fire/EMS

Two stations currently in operation

6 elementary schools 3 specialized education facilities

Parks and Open Space

M-NCPPC and municipal parkland comprises about 11% of the sector plan area. Undeveloped parkland acquisition and trail development expansion are priorities in Service Area 5.

Passive recreation areas may include areas for sitting, picnicking, or community gardening as well as trails and planted areas.

Active recreation areas may include playgrounds, courts, multipurpose paved areas, fields, informal open space, and splash pads.

Playgrounds

Water and Sewer

• The majority of the area is served by existing public water and sewer systems, categorized as Water and Sewer Category 3 Two pumping stations undergoing capacity assessments and upgrades as necessary

Library Facilities

Two libraries serve the greater area, but neither is located within the plan boundary

Picnic areas

372 acres of parkland and open space

Basketball and tennis courts

3 Recreation Centers

Demand for diamond and rectangular fields, dog parks, and picnic facilities

Prince George’s County Planning Department
Sources: 2024-2025 Pupil Yield Factors & Public School Clusters ; 2013 Formula 2040 Functional Master Plan for Parks, Recreation and Open Space; “Crime incidents July 2023 to Present.” and “Crime incidents February 2017 to 5th July 2023.” from Data Prince George’s. Data captured August 13, 2024; Prince George’s County Planning Department, GIS Open Data Portal

*Total (adjusted for half-day Pre-K students)

Source: Prince George’s County Planning Department. “Pupil Yield Factors & Public School Clusters 2024-25 Update.” The MarylandNational Capital Park and Planning Commission March 2025. https://www.princegeorgescountymd.gov/sites/default/files/mediadocument/Stormwater%20Management%20Design%20Manual%20%28PDF%29.pdf

Source: Prince George’s County Planning Department, GIS Open Data Portal, 2025, https://gisdata.pgplanning.org/opendata/ Note: Full data citation available in Appendix K: Map Citations.

67.

of Crime Incidents Within the Plan Area, February 2017 to July 2025

Source: “Crime incidents July 2023 to Present.” Data Prince George’s. Data captured July 10, 2025 https://data.princegeorgescountymd.gov/Public-Safety/Crime-Incidents-July-2023-to-Present/xjru-idbe/about_data and “Crime incidents February 2017 to 5th July 2023.” Data Prince George’s. Data captured July 10, 2025 https://data.princegeorgescountymd.gov/Public-Safety/Crime-Incidents-February-2017-to-5th-July-2023/wb4e-w4nf/about_data

Figure
Number

OPPORTUNITIES AND CHALLENGES*

OPPORTUNITIES

Enhancing Community Anchors and Public Facility Colocation

• Co-locating public facilities near transit, County and municipal buildings, and commercial areas can improve accessibility.

• The area's 23 M-NCPPC and municipal-owned parks, open spaces, community centers, and schools serve as key community anchors.

• Expanding bike and pedestrian connections strengthens access to neighborhoods, schools, historic sites, and parks.

Public Facilities as Economic Catalysts

Proximity to key destinations, such as the football stadium and Regional Medical Center, positions the area to attract visitors, stimulate residential growth, and diversify the local economy.

Improving Public Safety

Community policing, public space activation, and Crime Prevention through Environmental Design (CPTED) strategies can help address concerns about crime and safety.

Activities for Youth and Seniors

With significant youth and senior populations, the area has a strong need for recreation spaces, programs, and activities that engage residents of all ages, as identified through community feedback.

CHALLENGES

Crime Concerns

Perceptions of rising crime, including homicide, vandalism, theft, and robbery, were highlighted in the 2022 Sustainable Communities Renewal Application.1 Data from the Prince George’s County Police Department confirms an increase in crime from 2021 to 2022, reinforcing the need for crime prevention strategies. Data from the Prince George’s County Police Department confirms an increase in crime from 2021 to 2022, reinforcing the need for crime prevention strategies.1

Bridging the Digital Divide

Expanding public Wi-Fi access, ensuring reliable internet service for all households and businesses, and maintaining non-digital communication options can help close the digital gap and improve connectivity.

Limited Public Funding

Funding for large-scale infrastructure improvements is constrained, making it difficult to support higher-density development and ease financial burdens on private developers.

Meeting Undeveloped Parkland & Equity Targets

Development pressure near Morgan Boulevard Metro Station threatens undeveloped parkland, as noted in the 2022 LPPRP. Service Area 5 is flagged as an equity focus zone, where vulnerable populations need prioritized investment. Stream valleys and vacant land offer opportunities for recreation and conservation.

*See sources in Major Opportunities and Challenges Section

Policies and Strategies

AREAWIDE

Policy PF 1. Enhance public safety by reducing fear of crime and vulnerability to criminal activity, while building trust, encouraging community engagement, and promoting proactive security strategies.

PF 1.1: Expand Community First Division 96 of the Prince George’s County Police Department, Community Oriented Policing Services 97, a U.S. Department of Justice program, community policing, and other crime prevention programs Raise awareness of these programs and support volunteer efforts, such as neighborhood watch and clean-up/fix-up days.

PF 1.2: Incorporate CPTED measures in all new development and redevelopment, including public open space and trails, to foster “eyes on the street” principle where safety is increased with individuals present and aware of their surroundings.

PF 1.3: During the site suitability analysis, explore potential park and trail locations for the installation of blue light emergency call boxes (or similar) to provide direct connection with emergency services.

Relevant Policy: Policy HD 4

Community Policing

Community policing is an approach that emphasizes collaboration between law enforcement and the community to proactively address public safety concerns like crime, social disorder, and other fears. It focuses on building trust through partnerships and problem-solving strategies while ensuring that police organizations are structured to support these efforts. U.S. Department of Justice Office of Justice Programs https://www.ojp.gov/ncjrs/virtual-library/abstracts/community-policing-defined-0

The Maryland Community Policing Institute provides training on a variety of crime prevention topics including child safety, personal safety, drugs of abuse, bullying, etc. https://mdle.net/cpi.htm

Policy PF 2. Enhance and expand parks, open spaces, and recreation facilities in Service Area 5.

PF 2.1: Provide a variety of parks, recreational facilities, and open spaces by constructing the facilities identified in Table 34 and Table 35. Ensure all facilities within the focus areas are designed according to the Urban Park Guidelines and Typologies found in 2013 Formula 2040 Functional Master Plan for Parks, Recreation and Open Space 98 (Formula 2040), Appendices F and G.

96 https://www.princegeorgescountymd.gov/departments-offices/police/community-engagement/community-first-division

97 https://www.princegeorgescountymd.gov/departments-offices/police/community-engagement/cops-community

98 https://mncppc.sharepoint.com/sites/BlueLineCorridor/Shared Documents/General/A. Project Phases 1-10/C. Phase 3 - Plan Preparation/E. Preliminary Plan/A. DRAFT COMBINED/INTERNAL REVIEW ONLY/CPD/Formula 2040 Functional Master Plan for Parks, Recreation and Open Space

PF 2.2: Evaluate the acquisition of parcels adjacent to existing parks and in stream valleys to expand the open and green space network, improve connectivity, and add recreational opportunities See Table 31

PF 2.3: Align proposed park land facilities to meet identified gaps in the latest version of the Land Preservation, Park and Recreation Plan (LPPRP) and Formula 2040.

PF 2.4: During the development review process, determine the most appropriate type of park/open space as the plan area changes overtime. Explore opportunities to add open space, trails, and recreation facilities in established neighborhoods. If it is not feasible, install and highlight pedestrian and bicycle connections to other parkland.

PF 2.5: Continue the existing partnerships and explore formalizing new partnerships to use institutional (e.g., church, school) grounds after hours for active recreation, green spaces, community gardens, and playgrounds, integrating underutilized open space into the parks network, where appropriate.

PF 2.6: Continue to identify location(s) for a dog park. Locations could include Willow Hills Park and Summerfield Park.

PF 2.7: Explore opportunities for potential acquisition of Rollins Avenue Neighborhood Park connection to Capitol Heights Neighborhood Park and property adjacent to the J. Franklyn Bourne Memorial Pool to expand parkland and open space and protect natural resources

PF 2.8: Through the parkland dedication process, work with property owners and secure land for key trails like the WB&A extension, Central Avenue Connector, a potential Capitol Heights Neighborhood Park to Rollins Avenue Neighborhood Park connection, and other future trails. Use public easements if necessary.

PF 2.9: Complete feasibility studies, upgrades, and renovations to meet the changing recreational demands of residents in established neighborhoods as local park facilities age and amenities reach the end of their lifecycles. For example, replace playground equipment at applicable parks identified in Table 35 and Map 46 to address replacement of aging infrastructure and safety needs.

PF 2.10: Monitor park usage to determine if public restroom facilities are necessary and install as needed.

PF 2.11: Create a Cornerstone Park, as identified in Table 34 and Map 45, in conjunction with the United States Government, to retain and protect the natural area around the East Corner Boundary Stone. Celebrate history and heritage significance with interpretative signage and provide public visibility and access.

PF 2.12: Explore the potential acquisition of additional Ridgley Family historic sites as resource parks

PF 2.13: Consider including outdoor exercise stations, water fountains, and other freestanding health stations along trails, including the Central Avenue Connector Trail, and parks.

Figure 68. Outdoor Exercise Area, Lake Artemesia
PHOTO: M-NCPPC

PF 2.14: Continue to develop trail connections in and to stream valleys to expand access to natural spaces Assess feasibility of design, build, and maintenance of stream valley trail networks to minimize negative impacts to the natural environment, for example, limit stream crossings in trail design to minimize impact to buffers and other natural features and consider natural surface trails where appropriate. 99

PF 2.15: Expand and maintain undeveloped parkland as open space or wooded buffers, especially in cases where there is not enough room for active use or the site contains natural features, such as wetlands, steep slopes, or rare/threatened/endangered species.

PF 2.16: Ensure all recreational development plans conform with the 2010 Water Resource Functional Master Plan protection goals, 2017 Approved Prince George's County Resource Conservation Plan: A Countywide Functional Master Plan, and County sustainability policies.

PF 2.17: To meet stormwater management, beautification, and passive recreational space goals, incorporate green infrastructure, tree planting and reforestation, and Environmental Site Design (ESD) principles into public open space design plans accounting for long-term maintenance requirements.

PF 2.18: Explore opportunities for acquisition or permanent protection of the natural areas adjacent to Summerfield Park and along the Watts Branch, Cabin Branch, Northwest Branch, and Southwest Branch streams, for the protection and enhancement of natural resources.

PF 2.19: Preserve and protect natural areas through parkland dedication Review potential locations for parks and passive recreation areas in relation to the 2017 Green Infrastructure Plan.

PF 2.20: Design and construct master plan park trails to fully accommodate all user groups possible as identified in Table 34.

PF 2.21: Dedicate safe and engaging open spaces and facilities for teens in public facilities, plazas, and parks especially locations within a quarter to half mile radius Central High School and area middle schools and as noted in Table 34 and Table 35.

PF 2.22: Assess potential locations for ATV/Dirt Bike/Pump track facility to address residents’ needs

PF 2.23: Expand upon existing and add new community gardens on institutional, municipal, and County land for urban agriculture and community gathering uses and add neighborhood connections to them.

PF 2.24: Continue to identify new trail connections to increase natural area access and network connectivity through mandatory parkland dedication process. 100

99 The Maryland-National Capital Park and Planning Commission, Prince George’s County Planning Department. “Approved Water Resources Functional Master Plan.” September 2010. Available from https://www.mncppcapps.org/planning/publications/pdfs/241/Water%20Resources%20Master%20Plan.pdf

100 Prince George’s County Department of Parks and Recreation. “Land Preservation, Parks, and Recreation Plan.” The MarylandNational Capital Park and Planning Commission. Page 79. July 31, 2022. Available from https://dnr.maryland.gov/land/Documents/Stewardship/2022-LPPRP-Prince-Georges-Final.pdf

Relevant Policies: Policy TM 3, Policy TM 5, Policy NE 5, Policy HD 1, Policy HD 2, and Policy PF 13

Policy PF 3. Design safe, interesting, and easily accessible parks and open spaces.

PF 3.1: Locate new parks and open spaces with at least one edge of the park along a street and establish clear sight lines. Avoid locating new parks in a land locked setting

PF 3.2: Locate recreation space on the outside of private buildings to allow for public access.

PF 3.3: Use parkland and open space as transition space between the Regional Transit District, Local Transit Centers, Town Center and the Established Communities.

PF 3.4: Utilize corridor branding themes in the design of park and recreation amenities.

PF 3.5: Install bilingual wayfinding and interpretative signage at park and open space and community center locations.

PF 3.6: Continue the planning and hosting of activities in parks and along trails to increase visibility and social comfort.

PF 3.7: Anchor any future pedestrian and bicycle I-495 Capital Beltway bridge crossing for the Central Avenue Connector Trail (CACT) with pedestrian-scale development and public open space.

Relevant Policies: Policy TM 2, Policy TM 5, and Policy HD 2

Policy PF 4. Ensure proper maintenance of private and public parks, trails, and open space.

PF 4.1: Ensure the proper upkeep and maintenance of paved and natural surface trails, including native species vegetation integration and invasive species management, and recreation facilities and amenities, built as a requirement of Recreational Facility Agreements, through regular inspections and code enforcement.

PF 4.2: Complete the ongoing development of comprehensive maintenance guidelines for publicly- and privately-developed and maintained parks and recreation facilities and trails, building upon the 2025 Parks and Recreation Facilities Design Guidelines 101

PF 4.3: Explore legal enforcement tools to address the violations in upkeep and maintenance of recreational amenities that were built but not dedicated to the Department of Parks and Recreation as a public amenity during a development project.

PF 4.4: Strategically plant trees to provide shade without interfering with recreation or maintenance activities.

Relevant Policies: Policy NE 4,Policy NE 6, and Policy HD 3

101 https://www.pgparks.com/wp-content/uploads/2025/04/DEPARTMENT-OF-PARK-AND-RECREATION-FACILITIES-GUIDELINES2025-2.pdf

Map 45. Recommended New Parks, Recreation, and Open Space

Source: Prince George’s County Planning Department, GIS Open Data Portal, 2025, https://gisdata.pgplanning.org/opendata/ Note: Full data citation available in Appendix K: Map Citations.

Map 46. Recommended Upgrades to Existing Parks and Community Centers

Source: Prince George’s County Planning Department, GIS Open Data Portal, 2025, https://gisdata.pgplanning.org/opendata/ Note: Full data citation available in Appendix K: Map Citations

Policy PF 5. Provide recreation programs for people of all ages that meet the changing needs and interests of the community.

PF 5.1: As necessary, continue to partner with organizations to program and run community centers, plazas, and other forms of shared gathering space.

PF 5.2: Continue to create programs and provide recreational facilities for youth and seniors. Create partnerships with private entities, where possible, to develop recreational amenities and programs.

i) Continue and expand programs at the planned Senior Activity Center at the new County Health and Human Services office building in Hampton Park and Evelyn Cole Senior Activity Center at the Seat Pleasant Activity Center.

ii) Continue to partner with Kevin Durant to support youth recreational, educational, and social programs

iii) Build upon County youth sports initiative and Game On: Youth Sports Strategic Plan 102 and other pre-teen and teen programs offered by M-NCPPC, Department of Parks and Recreation

iv) Expand paved trail network to enhance places where Club 300 103, a year-round senior walking program offered by M-NCPPC, Department of Parks and Recreation, can occur to promote healthy practices and social connectivity.

v) Continue to support programs and partnerships with nonprofits and community groups (such as the Boys and Girls Club) to address the recreational needs of all ages.

PF 5.3: Create a regular schedule for mobile gaming/activity trucks to visit hard to reach neighborhoods to bring new experiences and occupy youth.

102 https://www.pgparks.com/wp-content/uploads/2023/03/Game-On-Youth-Sports-Strategic-Plan-Game-On.pdf

103 https://www.pgparks.com/activities-events/seniors

Figure 70. Arts on a Roll Mobile Activity Truck
PHOTO: DEPARTMENT OF PARKS AND RECREATION, M-NCPPC
PHOTO: DEPARTMENT OF PARKS AND RECREATION, M-NCPPC
Figure 69. Sports Mobile Activity Truck

ATV/Dirt Bike/Pump Track Facility

Creating a dedicated space for legal dirt bike and ATV use could reduce illegal street riding while providing an opportunity to establish youth services. As part of a feasibility study, partnerships with nonprofit or private organizations should be explored to help establish these youth services. A local example of such an organization is B-360, a Baltimore-based dirt bike advocacy organization who links young dirt bike and ATV riders to STEM skill and career development.

Currently, legal dirt bike and ATV use in the region is limited to certain state park and state forest trails, and privately operated motocross parks. These facilities are catered towards off-roading and track riding, leaving a gap for the type of urban riding that is observed on public streets. A dedicated facility should aim to address this gap. Other considerations include:

• Safety: given the lack of precedence for a facility of this type, extensive research should be done into the engineering and layout of the facility to ensure that it is as safe as possible.

• Noise: dirt bikes and ATVs are incredibly loud, and any potential facility should be located at a significant distance from residential space and with sound mitigation implemented.

• Design: again, given the lack of precedence for this type of facility, significant attention should be paid to ensuring that the facility serves the needs of riders, such that it is seen as an alternative to street-riding.

• Liability: extensive research is needed to mitigate legal risks.

• Programming and partnerships: as demonstrated by Baltimore’s B-360 advocacy group, there is an opportunity to connect dirt bike culture with STEM careers and interests. Similar youthoutreach programming should be considered with any potential facility.

Sources:

https://b360baltimore.org/about-b360/#our-goals-outcomes (accessed 5/29/24)

https://mva.maryland.gov/about-mva/Pages/info/27300/27300-76T.aspx (accessed 5/29/24)

https://ricelawmd.com/guide-to-dirt-bike-laws-in-maryland/ (accessed 5/29/24)

https://library.municode.com/md/prince_george's_county/codes/code_of_ordinances?nodeId=PTIITI17PULOLAPRGECOMA_SUB TITLE_26VETR_DIV19OADVE (accessed 5/29/24)

Policy PF 6. Implement a comprehensive communication strategy and public facility network to enhance news distribution and social participation.

PF 6.1: Enhance municipal and County communication systems and processes to increase accessibility of emergency information to seniors, disabled residents, and those who English is not their first language. Continue to promote and execute emergency preparedness educational programs

PF 6.2: Implement a Neighbors Helping Neighbors program (or similar) to increase social connectedness, help seniors age in place, supply childcare, and assist disabled residents.

PF 6.3: Continue to co-host events, educational opportunities, and the activation of public spaces with nonprofit organizations, municipalities, and local partners.

PF 6.4: Distribute bilingual (English/Spanish, or other languages, as appropriate) municipal and corridor news in print format at all community gathering locations.

PF 6.5: Establish a corridor-wide centralized system or online portal for information sharing to enhance coordination among municipalities and unincorporated areas.

PF 6.6: Create a regular schedule for mobile job trucks to visit hard to reach neighborhoods to bring job and career services to people where they are.

PF 6.7: Implement role model programs to match youth to adults provide rehabilitation programs for youth who break the law to help prevent them from doing it again.

PF 6.8: Integrate and promote bike, walk, and roll safety into educational programs and community events.

Relevant Policies: Policy EP 4, Policy TM 3, Policy HN 8, and Policy HC 4

Resilience Hubs

“A resilience hub is a community-based facility designed to support vulnerable residents during and after an emergency. A supplement to, not a replacement for, traditional emergency facilities, hubs are safe locations for residents to access emergency heating and cooling, charge phones, refrigerate medication, connect with their neighbors, and access information and services including food distribution. Hubs can also be energy independent by producing energy on-site through renewable energy installations, thus ensuring they have power during outages. Resilience hubs can also be designed to provide year-round support to improve local adaptive capacity and foster long-term community building. The County should prioritize deployment of hubs to facilities that serve low-income communities, including Energy Resilience Communities.” 2022 Climate Action Plan (Draft Plan as Prepared by Prince George’s County Climate Action Commission, Page 102)

2022 PGCPS Climate Change Action Plan (CCAP) Priority Recommendations includes recommendation A1 to design all new PGCPS buildings to be resilience hubs (page 25-26)

Policy PF 7. Locate and equip new and expanding public facilities and neighborhoods with community resources to enhance emergency preparedness and resiliency.

PF 7.1: Utilize a dig once approach to coordinate right-of-way construction with power and communication utility undergrounding work to ease costs and reduce material consumption.

PF 7.2: Develop microgrids and other alternative renewable energy systems (solar, windmills, etc.) and district heating and cooling systems in new residential development and public facilities to help reduce reliance on an aging utility grid.

PF 7.3: Add solar power infrastructure in new and existing public facilities during renovations. Complete a site selection study to explore the best locations to add these amenities.

PF 7.4: Where there is a requirement for a mix of uses, partner with public agencies, nonprofits, and faith-based organizations to possibly include institutional use space in a private development project where the market for commercial uses is not strong.

PF 7.5: Establish resilience hubs in new or expanding public facilities, such as schools, community centers, and libraries, as well as faith-based institutions to provide a social infrastructure and emergency preparedness resource.

PF 7.6: Acquire and maintain Maryland Green School 104 certification, administered through the Maryland Association for Environmental and Outdoor Education, for all public schools to promote sustainability and environmental stewardship and literacy

PF 7.7: Construct new and expanding public facilities to satisfy all sustainable development codes to set an example for quality climate resilience construction and building design.

PF 7.8: Identify multifamily buildings that may not meet current fire suppression standards to find alternative solutions for emergency preparedness.

Relevant Policies: Policy TM 12, Policy NE 8, Policy NE 9, Policy HC 1, Policy HC 8, and Policy HC 9

104 https://dnr.maryland.gov/education/Pages/greenschools.aspx

Digital Divide

Eight percent of area households do not have an internet subscription compared to seven percent of County households. Of the households that do have an internet subscription 10% rely only on cellular internet. Additionally, four percent of area households do not have a computer (desktop or laptop), smartphone, or tablet compared to three percent of County households. Generally, households in the western part of the plan area have less access to internet when compared to households in the eastern part.

Households with an Internet Subscription

Source: 2019-2023 ACS Census Data; Prince George’s County Department of Health. Available from www.pgchealthzone.org. Query: “PGCHealthZone.”

Policy PF 8. Use public funding to ensure equitable access to high-speed internet for all residents and small businesses.

PF 8.1: Explore Google Fiber or similar program as a pilot project along the corridor and in new multifamily buildings to address digital equity.

PF 8.2: Promote and increase public awareness of internet service affordability programs

PF 8.3: Implement high-speed internet equipment to provide service along the entire corridor to support heavy data uses (e.g., telework, sports and entertainment, healthcare).

PF 8.4: Implement public Wi-Fi hotspots in parks and plazas and other public spaces

Relevant Policies: Policy EP 4

Policy PF 9. Maintain the existing public school sites and facilities and acquire and develop new school sites to ensure public schools operate at 95 percent or less utilization.

PF 9.1: Assess the need, feasibility, and potential site locations of a new school(s) to support future changes in population in line with PGCPS 105 ongoing comprehensive boundary analysis findings and of the PGCPS’ Educational Facilities Master Plan. 106

PF 9.2: Continue to renovate and replace existing school facilities according to the greatest need based on facilities condition assessment.

PF 9.3: Continue to address overutilization by shifting students within Clusters 3 and 4 and expanding school facilities/capacity as needed.

Policy PF 10. Provide state-of-the-art library facilities that efficiently serve current and future populations while ensuring convenient access for all.

PF 10.1: Assess the need, feasibility, and potential site locations of a new full-service library to accommodate population growth.

PF 10.2: Co-locate small library service centers within existing community centers and in new housing development projects around Metro stations

PF 10.3: Utilize the mobile library program offering books, digital access (computers and WiFi), and job resources to reach underserved and less mobile populations.

Policy PF 11. Provide modern facilities to ensure the plan area is well covered by fire and emergency medical, and public safety services.

PF 11.1: Continue to assess and take action to address the station, equipment, and personnel needs of the Fire and Emergency Medical Services Department. Expand fire and emergency medical staffing or apparatus/trucks at fire stations as needed (see Table 20).

PF 11.2: Continue to assess and take action to address station, equipment, and personnel needs in County Police Districts III and VIII.

PF 11.3: Expand police staffing as needed to efficiently serve a changing population and address public safety concerns.

PF 11.4: Assess feasibility of combining municipal public safety departments to enhance efficiency and service.

PF 11.5: Assess feasibility of adding a police department(s) satellite station in an underutilized commercial space to provide additional visual presence.

Relevant Policy: Policy PF 1

105 Prince George’s County Public Schools. “School Boundary Initiative.” Available from https://www.pgcps.org/boundary 106 Prince George’s County Public Schools. “Educational Facilities Master Plan.” Available from https://www.pgcps.org/offices/capitalprograms/facilities-planning/efmp

Table 20. Existing Fire/Emergency Medical Service Stations

Existing Fire/EMS Stations

Company 802 Shady Glen

Address

100 Shady Glen Drive in Capitol Heights Company 805 Capitol Heights 6061 Central Avenue in Capitol Heights

Policy PF 12. Ensure adequate public water and sanitary sewer service to designated areas and perform necessary system upgrades.

PF 12.1: Bring WSSC into the master planning and development review process earlier to assure capacity management plans and water demand forecasts are current with ongoing and planned development in this area.

PF 12.2: Fund and construct systemic renovations and retrofits to maintain and expand the capacity of public water supply and sewer systems including design and replace existing water main along Hill Road alignment and along Central Avenue, assess the water main pumping stations at those locations, and assess the sewer system and make improvements, as necessary

FOCUS AREAS

Policy PF 13. Invest in public facilities and spaces to catalyze economic development, stimulate employment growth, and strengthen neighborhoods.

Figure 71. Capitol Heights Fire Department
PHOTO: M-NCPPC

PF 13.1: Consider creating a small-scale, neighborhood station space for the police department(s) in any new development within a quarter mile of a Metro station, or similar, to provide additional visual public safety presence

PF 13.2: Utilize Center and corridor branding themes in park and recreation design features.

PF 13.3: When possible, collocate compatible and complementary public facilities, such as libraries, day care centers, and community health centers, in new or expanding public buildings and private development around Metro stations.

PF 13.4: Prioritize construction of the CACT and other trails and public spaces to be a catalyst for new private development or redevelopment.

PF 13.5: Locate and construct public plazas, urban parks and open spaces including those identified in Table 34 to meet future demand from adding density.

PF 13.6: Construct signature public facilities/attractions (cultural center, library, etc.) within the two Local Transit Centers.

PF 13.7: Plan for and implement large-scale proactive stormwater management components, including green infrastructure, intended to meet future capacity around the Metro stations and the stadium property where new development and redevelopment is expected to occur, and floodplain capacity is constrained.

Relevant Policies: Policy EP 3, Policy TM 5, Policy NE 5, Policy HD 5, and Policy PF 2

MORGAN BOULEVARD REGIONAL TRANSIT DISTRICT

Policy PF 14. Improve access to and expand the variety of public open space and recreational amenities.

PF 14.1: Assess preservation, programming, and potential development of Hill Road Park and Ridgley Park through a public-private partnership. At least 50% of the existing 40-acre Hill Road Park site should be retained as parkland. Any future park and recreational amenities should include a facility to commemorate the history of the Ridgley Family and provide equal or higher recreational value to the residents, protection of natural resources, and safe connections to adjacent neighborhoods, the Metro station, and trails (including the future CACT).

PF 14.2: Acquire land, including the trails adjacent to the Summerfield Park property, to address the historical confusion of property lines between M-NCPPC property and the Villages at Morgan Metro property, to provide safe access and connection between the adjacent neighborhoods and the CACT and a consistent experience along the trail system.

Relevant Policies: Policy TM 18 and Policy TM 19

Policy PF 15. Invest in public facilities to create an entertainment destination, catalyze economic development, and stimulate employment growth.

PF 15.1: Locate and construct an amphitheater and market/food hall as signature public facilities/attractions adjacent to the Morgan Boulevard Metro Station to be catalysts to foster interest in the corridor and encourage private development.

PF 15.2: For the future redevelopment of the Morgan Boulevard Metro station area, consider relocating the Prince George’s County Office of Emergency Management office currently

located at 7915 Anchor St, Hyattsville, MD 20785 to another location within the plan area to retain County government job opportunities.

Relevant Policies: Policy LU 9, Policy EP 6, and Policy HC 13

CAPITOL HEIGHTS LOCAL TRANSIT CENTER

Policy PF 16. Identify locations along Watts Branch stream to increase parkland and open space based on existing natural features and the green infrastructure network.

PF 16.1: Determine the feasibility of a linear park along the Watts Branch tributary from the Capitol Heights Metro Station to Old Central Avenue along Capitol Heights Boulevard and Chamber Avenue.

Relevant Policies: Policy NE 5 and Policy NE 11

OLD CENTRAL AVENUE

Policy PF 17. Invest in public facilities and spaces to reactivate this historic main street and strengthen neighborhoods.

PF 17.1: Consider creating a small-scale, neighborhood station space for the police department(s) in an underutilized commercial space to provide additional visual public safety presence.

Relevant Policy: Policy HC 14

ADDISON ROAD LOCAL TRANSIT CENTER

Policy PF 18. Invest in public facilities to address community needs.

PF 18.1: Collaborate with the community to determine the best site layout for the homeless shelter currently located at 603 Addison Road.

Relevant Policy: Policy HN 8

SUMMERFIELD TOWN CENTER

Scenario 1 (New Stadium Constructed)

Policy PF 19. Invest in public facilities and amenities to capitalize upon existing sports activities and create an active living, wellness community.

PF 19.1: Work with the Washington Commanders Football Team to capitalize on the stadium property to provide additional sports, recreation, public open space, and wellness amenities in the future redevelopment of the site.

PF 19.2: Continue to coordinate and partner with the stadium property owners for shared-use of parking, multiple access points, and safe traffic circulation to accommodate large events at the Prince George’s Sports and Learning Complex.

Relevant Policies: Policy EP 11, Policy TM 23, and Policy TM 24

Scenario 2 (Sports & Wellness Village)

Policy PF 20. Invest in public facilities and amenities to create a national destination for athletics and an active living, wellness community.

PF 20.1: Build upon the Prince George’s Sports and Learning Complex, to provide additional sports, recreation, public open space, and wellness amenities in future redevelopment of the site.

Relevant Policies: Policy EP 11, Policy TM 23, and Policy TM 25

MARTIN LUTHER KING

JR HIGHWAY - NEIGHBORHOOD

RETAIL FOCUS AREA

Policy PF 21. Invest in public facilities to address community needs and provide gathering spaces.

PF 21.1: Consider creating a small-scale, neighborhood station space for the police department(s) in an underutilized commercial space that provides an additional public safety presence.

PF 21.2: When possible, co-locate compatible and complementary public facilities, such as libraries, day care centers, and community health centers, in new or expanding public buildings and private development within the neighborhood commercial area.

PF 21.3: Prioritize construction of the Washington, Baltimore and Annapolis Trail (WB&A) extension and public plazas and parks to be a catalyst for new private development or redevelopment.

Relevant Policies: Policy TM 26 and Policy PF 13

Section XII: Implementation Framework

INTRODUCTION

The sector plan serves as a policy framework for elected officials, government agencies, property owners, developers, preservation and environmental organizations, and other stakeholders. It provides a comprehensive set of policies and strategies to address planning challenges in the area Achieving the plan’s goals will require coordinated actions, including ordinance revisions, capital improvement investments, and operational budget commitments. The concurrent Sectional Map Amendment aligns zoning recommendations with the sector plan’s land use vision.

Implementation will unfold over the plan’s 20-year horizon, requiring collaboration among government entities, the private sector, nonprofits, property owners, and residents. The recommended time frames provide a flexible framework, allowing adaptation based on emerging opportunities and available resources.

Implementation time frames:

• O = Ongoing: Initiatives already in progress or to be implemented as opportunities arise.

• S = Short-term (1-5 years): Strategies targeted for completion by 2030, typically requiring fewer resources or serving as foundational steps for later initiatives.

• M = Mid-term (6-10 years): Strategies scheduled for 2030-2040 that may require interagency collaboration or additional resources.

• L = Long-term (10+ years): Strategies planned beyond 2040, often requiring complex partnerships, extensive analyses, or favorable market conditions before implementation can begin.

IMPLEMENTATION OVERVIEW

The following implementation matrices outline the agencies and partners involved in executing each strategy. While not exhaustive, these lists are designed to support interagency collaboration and drive timely implementation of the Central Avenue-Blue Line Sector Plan recommendations. As implementation progresses, additional partners may be identified to support specific strategies.

The matrix does not include policy or guidance statements, as their implementation is achieved through their incorporation into this plan.

High-priority implementation measures are highlighted, representing critical actions essential to realizing the sector plan’s vision.

Table 21. Table of Lead and Partner Entities

Entity Name

City of Seat Pleasant

CDC Community Development Corporation

County Council

DFS

Prince George’s County Department of Family Services

DHCD

Prince George’s County Department of Housing and Community Development

DNR

Maryland Department of Natural Resources

DoE

Prince George's County Department of Environment

DPIE

Prince George’s County Department of Permitting, Inspection and Enforcement

DPW&T

Prince George’s County Department of Public Works and Transportation

DSS

Prince George’s County Department of Social Services

US EPA

U.S. Environmental Protection Agency

EDC

Prince Georges County Economic Development Corporation

Primary Roles and Initiatives

Incorporated municipality with a mayor and six Council Members, elected as representatives of the City residents, who adopt ordinances and resolutions and decide on goals and policies

A locally based tax-exempt nonprofit organized by community members to lead community improvement projects and programs

Approve policies, zoning changes, and funding allocations.

• Champion legislative efforts that prioritize plan implementation.

Provide support and resources to the aging and disabled, victims of domestic violence, youth, and families

Support housing affordability and neighborhood revitalization.

• Administer programs that create mixed-income housing near Metro stations.

• Encourage adaptive reuse of vacant or underutilized properties.

Manage and protect the state’s natural resources, including wildlife, forests, waterways, and public lands

• Monitor wildlife populations

• Enforce natural resource law

Manage clean water, flood control, recycling and waste management, litter prevention, and sustainable animal management programs, partnerships, and projects

• Implement the climate action plan

Coordinate permit processing, plan review, construction inspections, property code enforcement, and business licensing.

• Enforce property maintenance standards and appropriate zoning laws

• Review grading, stormwater management, floodplain plans and more

Maintain, design, and engineer roadways, stormwater management facilities, bridges, street furniture, and operating public transportation systems.

Provide intervention services and resources including temporary cash, medical, and emergency assistance, as well as a food supplement program and foster care and adoption.

Protect human health and the environment

• Develop and enforce environmental regulations

• Conduct research and education

Provide technical assistance, funding, and resources for small businesses and entrepreneurs.

• Manage grants, loans, and tax incentive programs.

• Facilitate connections between businesses and workforce training programs.

• Collaborate on marketing campaigns to attract investors and visitors.

Entity Name

EPG

Employ Prince George’s

FEC

Food Equity Council

HAPGC

Housing Authority of Prince George’s County

HUD U.S. Department of Housing and Urban Development

MD DHCD

Maryland Department of Housing and Community Development

MDOT-SHA

Maryland Department of Transportation – State Highway Administration

MHT

Maryland Historical Trust

M-NCPPC - DPR

Maryland-National Capital Park and Planning CommissionDepartment of Parks and Recreation

M-NCPPC - PPD

Maryland-National Capital Park and Planning CommissionPrince George’s County Planning Department

MSA

Maryland Stadium Authority

MSAC

Maryland State Arts Council

MTA

Maryland Transit Administration

NCPC

National Capital Planning Commission

Primary Roles and Initiatives

Workforce development quasi-government nonprofit.

• Conduct job readiness, leadership, and soft skill training programs, assist job seekers, and host career fairs

Guarantee equitable access for all to healthy, affordable, culturally-appropriate, and locally produced foods and ensure food suppliers and producers have safe working conditions and living wages.

• Develop and support policies, procedures, and initiatives

Provide low to moderate income residents with safe, decent, and affordable housing.

• Administer and implement U.S. Department of Housing and Urban Development (HUD) rental assistance and public housing programs.

Manage housing assistance and community development programs.

• Homeownership, rental assistance, economic development, and public housing resources.

Manage homeownership, affordable housing, community revitalization programs

Improve infrastructure to support economic activities.

• Upgrade roads, sidewalks, and transit access to attract businesses.

• Collaborate on Complete Streets projects to enhance walkability.

Invested in uncovering and understanding the State’s historical and cultural heritage.

• Conduct research, implement conservation, and lead education.

Provide inclusive parks, recreation programs, and services that foster healthy lifestyles and adapt to evolving community needs.

• Safeguard, enhance, and sustain open spaces.

• Steward the County’s natural, cultural, and historical resources.

• Provide safe, accessible recreational opportunities.

Oversee land use planning, zoning amendments, and policy implementation.

• Conduct market analyses to guide economic growth.

• Ensure mixed-use development projects align with sector plan goals.

• Identify and promote priority development areas near transit centers.

Partners with local governments, universities, private enterprises, and the community to plan, finance, build and manage sports and entertainment facilities.

Ensure access and participation in the arts for all.

• Awards grants for ongoing arts programming and projects, to independent artists.

• Provide technical assistance and professional development.

Provide safe, efficient, and reliable multi-modal transit system across the State.

Provide long-range planning guidance and review the design of federal land and buildings in the region.

Entity Name

Nonprofit Organization

NPS

National Park Service

OHS

Prince George’s County Office of Homeland Security

PEPCO

Potomac Electric Power Company

PGAHC

Prince George's County Arts and Humanities Council

PGCC

Prince George’s Community College

PGCHD

Prince George's County Health Department

PGCMLS

Prince George’s County Memorial Library System

PGCPS

Prince George's County Public Schools

PGCOCS

Prince George's County Office of Central Services

PGSCD

Prince Georges’ County Soil Conservation District

Property Owner/Developer

RAPGC

Revenue Authority of Prince George’s County

Primary Roles and Initiatives

An entity generated for public or social collective benefit rather than profit generation.

Take care of the natural and cultural resources of the National Park System

• Partners to highlight natural and cultural resource conservation and outdoor recreation.

Comprised of Public Safety Communications (PSC) and Office of Emergency Management (OEM)

• Link between the residents and public safety-first responders.

• Operates program to prepare, prevent, plan, respond and recover from allhazard events in coordination with public and private agencies

Energy and gas utility providing service to the County

Committed to realizing the communal benefits of arts and culture to generate positive change and economic growth

• Provide leadership, programs, services, and support in areas for advocacy, arts organizations, and arts education as well as financial assistance for artists

Higher education and workforce development institution

• Programs in nursing, behavioral sciences, entrepreneurship, public safety and law, culinary arts, hospitality, and more

Empower County community to be make efforts to be healthy

• Provide behavioral, environmental, family health, and wellness services with preventative and treatment options, resources, and education

Meet needs of booklovers, immigrants and refugees, job seekers, children, young professionals, seniors, and families.

• Provide in-person, online, and pop-up programs, services, and outreach activities

• Collaborate with local government agencies and nonprofit organizations.

School district serving children in the County.

Administers support services for the County Government.

• Operates and manages facilities and fleets, administrative tasks, and real estate

Provide farmers, developers and the public with soil and water conservation expertise.

• Water quality protection, public education, and urban erosion and sediment control programs.

• Technical assistance for urban agricultural producers, landowners, schools, agencies and more

The landowner and development partner are responsible for property maintenance, taxes, and compliance with building codes and zoning laws.

Development finance agency in partnership with other County agencies.

• Coordinate the lease of real property, parking operations and parking enforcement

Entity Name

RDA

Prince George’s County Redevelopment Authority

Primary Roles and Initiatives

Target reduction of the number of blighted commercial and residential structures around existing transit centers

• Acquire vacant or underutilized property

• Solicit bids, distribute grants, create partnerships

Town of Capitol Heights Incorporated municipality with a Mayor and six Council Members, elected as representatives of the Town residents, who adopt ordinances and resolutions and decide on goals and policies.

USGS

United States Geological Survey

WMATA

Washington Metropolitan Area Transit Authority

WSSC

Washington Suburban Sanitary Commission

Science arm of the Department of the Interior conducting research and mapping data on earth, water, biological systems, and features to inform decision making.

Public transit agency operating rail and bus service and a prominent landowner in the Washington, D.C. metropolitan area.

• Capitalize upon transit-oriented development on property.

• Maintain efficient transit systems and adjust, as necessary

Water and wastewater utility that provides safe drinking water and wastewater treatment to Prince George's County.

• Manage water and sewer mains and dams, monitor system capacity, and filter and treat wastewater.

Table 22. Priority Action Plan

Policy LU 2: Maximize the potential for transit-oriented development within walking distance of Metro stations to foster compact, accessible, and diverse communities.

Policy LU 3: Redevelop vacant and underutilized properties to provide housing choices, public amenities, connectivity, and neighborhood-serving services.

Lead: Prince George’s County Government, County Council, WMATA

Partners: M-NCPPC, Municipalities, Property Owners, Developers

Lead: Developers, RDA O Opportunity Zones (OZ)

Partners: M-NCPPC, Municipalities, Property Owners, EDC

Revitalization Tax Credits

Community Legacy Program

Strategic Demolition Fund

Policy LU 5: Advance equity, inclusivity, and collaboration in land use and development to ensure all communities benefit from growth and investment.

Policy LU 6: Maximize development near Metro stations to advance highdensity transit-oriented development (TOD).

Lead: Prince George’s County Government, Municipalities

Partners: M-NCPPC, County Council, EDC, Nonprofit organization

Lead: WMATA, M-NCPPC

Partners: Property owners, Developers, MDOT SHA, Prince George’s County Government, County Council, RDA

Policy LU 7: Use available public spaces to provide access to essential resources.

Lead: Prince George’s County Government, Municipalities

Partners: M-NCPPC, Nonprofit organization

N/A

Opportunity Zones (OZ)

Revitalization Tax Credits

Opportunity Zones (OZ)

Revitalization Tax Credits

Community Legacy Program

Economic Prosperity

Policy EP 2: Strengthen small business ecosystems to foster entrepreneurship, collaboration, and local economic growth, with a focus on historically underserved communities.

Lead: EDC

Partners: M-NCPPC, County Council, Municipalities, Nonprofit organization

Opportunity Zones HUBZone

Enterprise Zone

New Market Tax Credits

Economic Development Incentive

Small Business Growth Fund

Policy EP 4: Expand workforce resilience and entrepreneurship to drive economic mobility and industry growth.

Lead: EDC

Partners: County Council, M-NCPPC, Municipalities, Nonprofit organization

Opportunity Zones Enterprise Zone

Sustainable Communities Programs

Economic Development Incentive

Revitalization Tax Credits

New Market Tax Credits

High Technology Facilities Tax Credit

Small Business Growth Fund

Policy EP 5: Advance industry clusters to drive innovation, business growth, and economic resilience in key sectors such as technology, healthcare, and sustainability

Lead: EDC

Partners: M-NCPPC, County Council, Prince George’s County Government, Nonprofit organization

Policy TM 1: Improve safety, accessibility, and connectivity of pedestrian infrastructure including sidewalks, trails, and crosswalks.

O

M Opportunity Zones

Enterprise Zone

Economic Development Incentive

New Market Tax Credits

High Technology Facilities Tax Credit

Community Legacy Program

Transportation & Mobility

Lead: M-NCPPC, DPW&T, MDOT SHA, DPIE, WMATA

Partners: Property Owner/Developer, Municipalities

O Prince George’s County Fiscal Year 2025-2023

Approved Capital Improvements Program & Budget

• # 4.66.0002

• #4.66.0003

• #4.66.0020

Maryland Bikeways Program (MDOT)

Bicycle Retrofit (Fund 88)

Transportation Alternatives Program (MDOT

SHA): Transportation Alternative and Recreational Use Grant

MDOT SHA Recreational Trails Program (RTP)

Safe Streets and Roads for All (SS4A) Grant Program

Policy TM 4: Improve pedestrian and bicyclist safety around schools through traffic calming measures and education to advance Safe Routes to Schools goals.

Policy TM 5: Construct and maintain regional trails including the Central Avenue Connector Trail and the Washington, Baltimore & Annapolis Trail to provide additional connectivity and travel options.

Lead: MDOT SHA, DPW&T, PGCPS

Partners: County Council, M-NCPPC

Lead: M-NCPPC, DPW&T, MDOT SHA, Property Owner/Developer

Partners: Municipalities, Arts & Humanities Council

S Safe Streets and Roads for All (SS4A) Grant Program

Transportation Alternatives Program (MDOT

SHA): Transportation Alternative and Recreational Use Grant

Sustainable Maryland Action Grants

M Transportation Alternatives Program (MDOT

SHA): Transportation Alternative and Recreational Use Grant

MDOT SHA Recreational Trails Program (RTP)

Maryland Bikeways Program (MDOT)

Sustainable Maryland Action Grants

Public Art Across Maryland Grant Program

Policy TM 10: Calm vehicular traffic on key streets to improve safety and comfort of pedestrians, cyclists, and micromobility users.

Lead: MDOT SHA, DPW&T, Municipalities

Partners: M-NCPPC, HOAs, WABA

American Infrastructure with Sustainability and Equity (RAISE) grant

S Prince George’s County Fiscal Year 2025-2023 Approved Capital Improvements Program & Budget

• #1.66.0001

#4.66.0002

• #4.66.0004

• #8.66.0004

Maryland Highway Safety Office Grant (MDOT MVA)

Sustainable Maryland Action Grants

Maryland Bikeways Program (MDOT)

Safe Streets and Roads for All (SS4A) Grant Program

Policy TM 15: Improve roadway safety and comfort in the Focus Areas as roadways are constructed, adapted, and evaluated.

Lead: WMATA, Property Owner/Developer, MNCPPC

Partners: DPW&T, MDOT

SHA

Policy NE 1: Enhance the health and resilience of Regulated Features (streams, wetlands, floodplains, and their buffers) within Environmental Strategy Area 1.

O MDOT SHA Recreational Trails Program (RTP)

Transportation Alternatives Program (MDOT

SHA): Transportation Alternative and Recreational Use Grant

Sustainable Maryland Action Grants

Maryland Bikeways Program (MDOT)

Prince George’s County Fiscal Year 2025-2023 Approved Capital Improvements Program & Budget

• #4.66.0003

• #4.66.0004

Natural Environment

Lead: M-NCPPC, Property Owner/Developer, DoE

Partners: DPIE, Municipalities, Nonprofit organization

O Chesapeake Bay Watershed Agreement established several goals and outcomes. Federal, State, Nonprofit, and other partners are potential resource providers.

Chesapeake Bay Trust Grant Programs

Climate-Smart Commodities Grant (PG DOE)

Prince George’s Stormwater Stewardship Grant Program

Capper Cramton Lands

Policy NE 3: Expand and strengthen the forest and urban tree canopy (Map 36) to mitigate extreme weather, improve stormwater management, enhance ecosystem services, and support public health and well-being.

Lead: DoE, M-NCPPC, DPW&T, MDOT SHA

Partners: Nonprofit organization, Municipalities, Property Owner/Developer, Utility Companies

Program Open Space (MD DNR)

Sustainable Maryland Action Grants

Pepco Sustainable Communities Grant

EPA Clean Water Act (CWA) section 319

EPA Clean Water State Revolving Fund (CWSRF)

Maryland DoE Water Infrastructure Financing Administration List of Loan and Grant Programs

USDA Forest Service Invasive Plant Grant Program

Keep Maryland Beautiful Grant Program

Community Engagement and Restoration Mini Grant

Pepco Sustainable Communities Grant

Prince George’s Stormwater Stewardship Grant Program

Community Engagement and Restoration Mini Grant

The Urban Trees Grant Program

Pepco Sustainable Communities Grant

National Highway Performance Program (NHPP)

Resilient Infrastructure for Sustainable Energy Program (MEA)

Policy NE 4: Enhance vacant land stewardship by empowering communities to maintain and repurpose land as green spaces, community gardens, or recreational areas to improve safety, aesthetics, environmental benefits, and community engagement

Lead: DPIE, DoE

Partners: PGCMLS, MNCPPC, DPW&T, MDOT SHA, Municipalities, Nonprofit organization

Policy NE 7: Reduce impervious surfaces to improve stormwater

Lead: DoE, County Council, Property Owner/Developer

infiltration and mitigate urban heat.

Policy NE 8: Increase user comfort in spaces and reduce air, noise, and light pollution

Partners: M-NCPPC, Municipalities

Lead: DPW&T, MDOT SHA, Property Owner/Developer

Partners: Municipalities, DPIE

Housing and Neighborhoods

Policy HN 1: Develop mixed-income communities with market-rate, attainable, and affordable housing units.

Lead: M-NCPPC, Nonprofit organization, Property Owner/Developer, County Council

Partners: DHCD, Municipalities

O HOME Investment Partnership

Housing Investment Trust Fund

Affordable Housing Bond Finance Program

Community Development Block Grants

Low Income Housing Tax Credit (LIHTC) Program

Section 108 Loan Guarantee Program

Deed-restricted housing program

Project Based Voucher Housing Authority PILOT Programs

Amazon Housing Equity Fund

Rental Housing Works

Turning the Key and Just Communities Programs

Policy HN 2: Increase the supply of diverse housing types to support a growing and varied population.

Lead: County Council, Nonprofit organization

Partners: M-NCPPC

M HOME Investment Partnership

Housing Investment Trust Fund

Affordable Housing Bond Finance Program

Community Development Block Grants

Low Income Housing Tax Credit (LIHTC) Program

Section 108 Loan Guarantee Program

Deed-restricted housing program

Policy HN 3: Create a nonprofit organization to steward the plan and keep up with changing community needs and to facilitate affordable housing development.

Policy HN 4: Prevent displacement and provide security to vulnerable renters.

Lead: Nonprofit organization

Partners: M-NCPPC

Policy HN 7: Expand housing options and enhance physical accessibility to better serve individuals of all ages and abilities, including older adults and members of the disability community with diverse needs

Lead: Housing Authority, Nonprofit organization, Universal Design Work Group, Medical Care Provider

Partners: DHCD, MNCPPC

Lead: Municipalities, Property Owner/Developer, Nonprofit organization

Partners: DHCD, MNCPPC

Project Based Voucher Housing Authority PILOT Programs

Amazon Housing Equity Fund

Rental Housing Works

Turning the Key and Just Communities Programs

Community Development Block Grants

Section 108 Loan Guarantee Program

HOME Investment Partnership American Rescue Plan

O Community Development Block Grants

Section 108 Loan Guarantee Program

HOME Investment Partnership American Rescue Plan

Maryland Housing Counseling Fund Program

Independent Living Tax Credit

Accessible Homes for Seniors Program

Community Legacy Program

Community Development Block Grants

HOME Investments Partnership Program

Section 8 Housing Choice Vouchers

Section 8 Project based Rental Assistance

Family Self Sufficiency Grant Program

Family Self Sufficiency Grant Program

Resident Opportunity and Self Sufficiency Grant Program

Choice Neighborhoods Program

Assisted Living Conversion Program (ALCP)

Policy HN 9: Use publicly and institutionally owned land to expand housing opportunities and equitable development

Lead: M-NCPPC, RDA, County, State, County Council O

Partners: Municipalities, Property Owner/Developer

Community Heritage, Culture, and Design

Policy HD 1: Support efforts to research and preserve historic resources and stories to expand knowledge of County and local history.

Policy HD 2: Preserve, celebrate, promote local heritage and develop and improve community gathering spaces. Advance local history education, tourism and cultural engagement, and identity

Lead: M-NCPPC

Partners: Municipalities, Property Owner/Developer

O Historic Preservation Non-Capital Grant Program (MHT)

MHT African American Heritage Preservation Program

Historic Property Grant Program (Capital Grants) (PG Planning)

Lead: M-NCPPC, Municipalities, Nonprofit organization, EDC, Property Owner/Developer O Prince George’s County Historic Preservation Non-Capital Grant Program

County Arts Grant Program (PHAHC)

Public Art Across Maryland (PAAM) New Artworks Grant

Policy HD 3: Cultivate community pride and a distinct sense of identity, create inviting streetscapes and vibrant neighborhoods, and revitalize the public realm through intentional and collaborative beautification efforts and design elements.

Policy HD 4: Use design strategies to prevent crime in both public and private spaces.

Partners: MDOT SHA, DPW&T, NPS, NCPC, DC Government, PGAHC, PGCPS, PGCCC, County Council

Lead: DoE, DHCD, EDC

Partners: PGCPS, WMATA, Municipalities, MDOT SHA, DPW&T, Nonprofit Organization, RDA

O Commercial Property Improvement Program

Maryland Façade Improvement Program (MD DHCD)

Keep Maryland Beautiful Grant Program

Prince George’s Stormwater Stewardship Grant Program

Lead: Property Owner/Developer

Partners: M-NCPPC, DPW&T, WMATA, Municipalities

Policy HC 1: Dedicate efforts to establishing a food oasis and fostering age-friendly, healthy communities.

Policy HC 2: Support the establishment of grocery stores and food retailers that offer high-quality produce, nutritious food, and locally sourced products, ensuring broad access for all residents.

Policy HC 3: Expand equitable access to quality healthcare programs and services.

Healthy Communities

Lead: M-NCPPC, Municipalities, County Council

Partners: DSS, Nonprofit Organization, PGCHD

S AARP’ Livable Communities Network of AgeFriendly States and Communities PAMC

Maryland Community Legacy Program

National Capital Strategic Economic Development Fund

Lead: MNCPPC, FEC, EDC, DPIE, DSS O America’s Healthy Food Financing Initiative

Partners: Nonprofit organization, County Council, Municipalities

Maryland Fresh Food Financing Initiative

The Food Trust by Elevance

USDA National Institute of Food and Agriculture Grant Program

Policy HC 4: Grow and support farmers markets, community-supported agriculture, mobile farm markets, and other innovative healthy food retail models to increase accessibility and choice (Map 43).

Policy HC 5: Provide longterm access to land suitable for urban agriculture and increase food production using Section 27-61400 Urban Agriculture Compatibility Standards..

Lead: PGCHD O

Partners: County Council, Nonprofit organization, Municipalities, MNCPPC, FEC

Lead: WMATA, FEC O

Partners: M-NCPPC, Municipalities

Lead: FEC, PGCSCD, PGCPS, MDOT SHA, MNCPPC

Partners: DSS, Municipalities, Nonprofit organization, Property Owner/Developer, WMATA, DoE

S County Community Garden Mini-grant program (PG DoE)

Urban Agriculture Property Tax Credit (PGCSCD)

Policy PF 1: Enhance public safety by reducing fear of crime and vulnerability to criminal activity, while building trust, encouraging community engagement, and promoting proactive security strategies

Policy PF 2: Enhance and expand parks, open spaces, and recreation facilities in Service Area 5.

Public Facilities

Lead: County Police Department, Municipal Police Departments, WMATA Transit Police, MNCPPC Park Police

Partners: Property Owner/Developer

Lead: Property

Owner/Developer, MNCPPC

Partners: Municipalities, PGCPS, NPS, NCPC, Nonprofit organization

Policy PF 5: Provide recreation programs for people of all ages that meet the changing needs and interests of the community.

Policy PF 6: Implement a comprehensive communication strategy and public facility network to enhance news distribution and social participation

Lead: M-NCPPC, Municipalities

Partners: DPW&T, PGCPS, Nonprofit organization

Lead: Municipalities, Nonprofit organization, M-NCPPC, 20743 Coalition

Partners: OHS, DFS

O Program Open Space (MD DNR) Capper Cramton Lands

Community Parks and Playgrounds Program Grant

Pepco Sustainable Communities Grant Kaboom Playground Renovation Grant

O Program Open Space (MD DNR)

O Pepco Sustainable Communities Grant

Section XIII: Monitoring and Evaluation

EVALUATING THE CENTRAL AVENUE-BLUE/SILVER LINE CORRIDOR SECTOR PLAN

The Plan 2035 Five-Year Evaluation is a vital tool for monitoring Prince George’s County’s progress toward the vision and goals set forth in Plan 2035. Conducted every five years, the evaluation assesses the implementation of long-term policies and strategies to ensure they remain aligned with evolving demographic, socioeconomic, and environmental trends at the local, regional, and national levels.

This process highlights completed programs, projects, and initiatives offering a clear picture of achievements to date while also identifying areas that may need targeted updates to respond to shifting conditions and emerging needs.

The indicators of success matrix set priorities and benchmarks for progress. The evaluation measures success by tracking specific indicators over one-, five-, and ten-year intervals, such as increased educational attainment By tracking these indicators, the County can measure the effectiveness of Plan 2035’s strategies.

For a detailed list of these indicators, see Table 26: Indicators of Success on page 268 of Plan 2035.

New dwelling units within the Centers

Approx. 70% of DUs built in RTD and LTC vs. 30% of DUs built outside in the Established Communities

Local Centers, designated for concentrated growth under Plan 2035, increase housing near transit while preserving existing communities.

Mode split for residents living in Centers

65 % of trips taken by non-single-occupancy auto

People being able to meet their daily needs by safely walking and biking is the sign of quality TOD and is expected of an area with 3 Metro stations.

Table 23. Central Avenue-Blue/Silver Line Sector Plan Indicators of Success
Number of dwelling units constructed
At least 2.5% more units in Centers, with a lower increase in Established Communities.
New dwellings here will expand housing options and enhance affordability.
CoStar

Indicator 2045 Target

Percentage of tree canopy cover

Greater than or equal to 50% of the plan area covered by tree canopy.

Miles of shareduse facilities built since sector plan approval.

• Bicycle lanes: 16.75 miles

• Shared bicycle lane markings (Sharrows): 9.00 miles

• Hard surface trails: 5.25 miles

• Side paths: 11.00 miles

• Sidewalks: 2.50 miles

Why is this important in CABL?

Tree canopy lowers temperatures, enhances air and water quality, and boosts aesthetics and comfort in developed areas.

Expanding shared-use paths and facilities enhances safety, connectivity, and viability for pedestrians, cyclists, and micro-mobility users over driving.

Increase the share of mixeduse developments near transit hubs.

(Re)development of 125+ acres in the mixeduse classification near transit.

The area is primarily residential; diversifying land use would strengthen the tax base and support local needs.

Increase in built-out density / FAR.

Number of vacant properties and buildings

Decrease of vacant properties and buildings by 3% every 5 years.

Vacant land makes up 12% of the area, offering opportunities for redevelopment, infill, and open space creation.

Number of healthy food retailers and distributors

Expand fresh food access by growing the number of retailers and distributors, including grocery stores, farmers markets, and urban farms.

The area is largely a food desert, requiring travel for fresh food. Increasing local sources would support healthier choices.

Indicator 2045 Target

Public art installations and performances, both permanent and temporary.

Increase foot traffic and attendance of community members

Increase in local partners, participants and donors.

Crime rates

Decrease in the number of crimes reported

Increase community events in crime labeled areas.

Why is this important in CABL?

Celebrating cultural heritage and history through diverse art forms fosters a stronger sense of place, boosting tourism and community pride.

Residents feel crime is increasing, though rates fluctuate yearly.

Litter

Increase the percentage of litter/trash collected.

Illegal dumping and litter, particularly on vacant land, create aesthetic and environmental concerns.

Decrease litter/illegal dumping complaints

Employment rate

At least 4% decrease in the unemployment rate. With a 12% unemployment rate, double the County’s, employment is crucial. Expanding job opportunities and workforce development will drive economic growth, financial stability, and community wellbeing.

Number of transit routes available

Expand transit routes to improve access to key destinations for residents.

Enhancing bus network connectivity encourages greater transit use and reduces dependence on personal vehicles.

Indicator 2045 Target

Number of recreational programs and activities for youth and seniors.

Expand the availability of recreational programs and activities for youth and seniors.

Why is this important in CABL?

Residents seek more social connectivity for seniors and engaging activities for youth to promote community wellbeing.

Prince George’s County Department of Recreation, PGCPS, Municipalities

Sectional Map Amendment

See Attachment A available as a separate document online: www.pgplan.org/blueline

Appendices

Appendix A: Glossary of Terms

Access easements: the legal right that allows a person to cross or use a portion of another person’s property to access their own property.

Accessory Dwelling Units (ADUs): a smaller, independent residential dwelling unit located on the same lot as a stand-alone (i.e., detached) single-family home. (American Planning Association)

Adaptive reuse – the repurposing use of an existing structure (Merriam Webster)

Best Management Practices (BMPs) – A structure that holds or treats stormwater to help prevent flooding, reduce pollution, and provide other amenities. (DPIE)

Bicycle boulevards – “streets with low motorized traffic volumes and speeds, designated and designed to give bicycle travel priority.” (NACTO)

Bike boxes – marked spaces at signalized intersection at the that allow bicyclists to wait safely and move ahead of cars when the light turns green. (NACTO)

Blue roof – a non-vegetated storage system that retains stormwater and slowly releases the water to the roof drains. (Philadelphia Water Department)

Brownfield – A site that may be difficult to develop or reuse because it could contain harmful substances or pollution. (U.S. Environmental Protection Agency)

Christiana clay – a type of soil found primarily in Prince George’s County that can pose problematic for construction of foundation due to it’s unstable and shrink-swell characteristic. A soils report must be submitted for any proposed development on this type of soil, which should include specific remedies to potential issues (M-NCPPC).

Community Archive – A collection of records about a community’s shared history, culture, heritage, and interests, usually created and kept by the community itself rather than official archives. (Society of American Archivists)

Community Benefit Agreement – is a legally-binding contract that guarantees residents benefit from new development projects. It helps give impacted communities a voice in shaping investments that affect them. (Urban Institute)

Community Housing Development Organization (CHDO) – “a private nonprofit, communitybased organization that has staff with the capacity to develop affordable housing for the community it serves.” (HUD Exchange)

Community Land Trusts – a land-owning nonprofit, community-based organization who leases affordable housing. The classic community land trust model includes residents of the leased affordable housing, community members who live within the target area and other supporting public entities. (Lincoln Institute of Land Policy)

Community policing – A method where law enforcement collaborates with communities and organizations to solve problems and prevent crime, disorder, and safety concerns before they escalate. (U.S. Department of Justice Office of Justice Programs)

Community Supported Agriculture (CSA) – A system where people support a local farm by paying upfront for a share of its harvest, receiving regular deliveries of fresh produce and other farm goods. (Maryland’s Best)

Complete Streets – A way of designing streets so that everyone pedestrians, cyclists, drivers, and transit riders can use them safely, no matter their age or ability. (Smart Growth America)

Conservation Easements – legal agreement that protects land by restricting development while maintaining private ownership.

Co-Operative Ownership – A type of housing where people buy shares in a corporation that owns the building, giving them the right to live there. (DC Cooperative Housing Coalition)

Corner bulb-outs – road reconstruction technique to reduce road width at intersections, making pedestrian crossings safer and shorter while creating space for additional amenities such as benches, plants, and street furniture. (NACTO)

Crime Prevention through Environmental Design (CPTED) - A multi-disciplinary approach that uses urban and architectural design to prevent crime and improve safety. (The International Crime Prevention Through Environmental Design Association)

Culture - the learned and shared “customary beliefs, social forms, and material traits of a racial, religious, or social group,” shaped and passed down through generations. (Merriam-Webster)

Cultural Displacement – when newcomers bring different preferences and lifestyles that replace those of long-time residents, leading to people being pushed out and the loss of the community’s historical and cultural identity. (Smart Growth America)

Dig Once – policies that reduce the number and size of excavations by collaborating to consolidate future infrastructure projects along highways, making the process more efficient and less disruptive. (U.S. Federal Highway Administration Office of Transportation Policy Studies)

Digital Divide – “the gap between those who have access to technology, the internet and digital literacy training and those who do not.” (North Carolina Department of Information Technology)

Digital Equity – all individuals and communities have the information technology capacity needed to fully participate in society, work, education, and access essential services. (National Digital Inclusion Alliance)

District heating and cooling system – a central plant produces hot water, steam, or chilled water, which is then distributed through insulated pipes to heat or cool multiple buildings, such as a downtown district or campus, efficiently, reducing energy costs. (U.S. Department of Energy)

Environmental Site Design (ESD) – a strategy that maintains natural water flow patterns and protects resources by using site planning, natural hydrology, and small-scale systems to manage runoff effectively. (DPIE)

First-mile/last-mile access – the gap between a person's home and public transportation, or between public transportation and their final destination. It focuses on making those connections easier and more efficient. (Kåresdotter, E., Page, J., Mörtberg, U., Näsström, H., & Kalantari, Z in the Journal of Urban Technology)

Floating bus islands – raised concrete island platforms between traffic and bike lanes where passengers get on and off buses. Pedestrians cross the bike lane to reach the bus stop. (Arlington County)

Food hub - a business or group that helps local farmers and producers get their food to bigger buyers like grocery stores, restaurants, and schools. The business or group collects, organizes, and promotes the products so it is easier for small producers to reach larger markets. (United States Department of Agriculture)

Gentrification – when wealthier people move into lower-income areas, changing the neighborhood’s economy and culture, sometimes making it harder for longtime residents to stay. (HUD)

GIS (Geographic Information Systems) – system for mapping, analyzing, and visualizing spatial data to support decision-making.

Green roof – a building roof covered with plants and waterproof layers that help manage rainwater by slowing runoff, storing water, and encouraging evaporation. (Philadelphia Water Department)

Green Streets - stormwater management approach that incorporates vegetation (perennials, shrubs, trees), soil, and engineered systems (e.g., permeable pavements) to slow, filter, and cleanse stormwater runoff from impervious surfaces (e.g., streets, sidewalks). (United States Environmental Protection Agency)

Greyfield site – older commercial or industrial properties with existing infrastructure, but their current use is outdated or limits redevelopment. (Iowa League of Cities)

Heritage - any cultural tradition, custom, or resource, of special value, such as artwork, historic buildings or monuments, and natural landscapes, that are passed and preserved from preceding to successive generations. (American Psychological Association)

Heritage Tourism – allows people to explore history and traditions by visiting important places, artifacts, and engaging in cultural activities that reflect past and present stories. (Cultural Heritage Tourism by Partners for Livable Communities) (Cultural Heritage Tourism – Partners for Livable Communities)

Illegal dumping – Illegal disposal of waste in an unpermitted area, such as in the back of a yard, along a stream bank, in an alley, in a public right-of-way or at some other off-road area (Environmental Protection Agency)

Impact fees - charges that local governments impose on new developments or construction projects to help cover the cost of public infrastructure improvements or services required due to the development. (US DOT Federal Highway Administration)

Inclusionary Zoning – requires or encourages developers to set aside affordable housing units within new market-rate rental or homeownership projects, ensuring mixed-income communities. (Local Housing Solutions)

Infill Housing – is building on empty or underused land within already developed areas to make better use of space. (Planetizen)

Land Assemblage – the process of merging multiple land parcels to create a single property with potential highest and best use. (International Right of Way Association)

Level of Service – rates traffic delays at intersections on a scale from A (shortest wait) to F (longest wait). (NACTO)

Low-emitting materials – release fewer harmful substances that can impact human health. Many building materials, such as paints, sealants, adhesives, and some furnishings, can emit hazardous substances which may impact indoor air quality. Choosing low-emission options helps reduce exposure to these pollutants. (Rutgers Center for Green Building)

Low-Impact Development (LID) – an approach of designing land to work with nature, managing stormwater where it falls. It preserves natural features, reduces paved surfaces, and uses methods like rain gardens, green roofs, and permeable pavement to treat water as a resource, helping reduce impacts on built areas and ecosystems thrive. (US EPA)

Micro housing - small, compact residential units that are designed to maximize efficiency and functionality in a limited space.

Microgrid – a local energy system that generates, stores, and distributes power independently from the main grid. It reduces reliance on utilities and keeps essential services running during outages or emergencies. (Maryland Energy Administration)

Microtransit – “Microtransit is a form of shared-ride on-demand transport that extends the reach of transit systems or in some cases, replaces fixed routes” (National Aging and Disability Transportation Center)

Mid-block Pinchpoints – curb extensions to narrow the road to slow traffic and create public space. (NACTO)

Mobile Library - A specialized vehicle, sometimes called a bookmobile, that brings library collections and services, including but not limited to books, programs, computers, and internet access to locations throughout a community. Mobile libraries prioritize serving customers and communities that cannot easily visit physical library branches. (Prince George’s County Memorial Library System)

Modular homes - Customized, prefabricated homes built offsite in a factory intended to be transported and assembled onsite and used as a dwelling with a permanent foundation, connected to utilities. (Maryland Department of Labor)

Multifamily –“Any property containing (3) or more dwelling units” (Prince George's County)

Music Audit – a detailed review of a community’s music scene, including artists, venues, education, and culture, to understand and improve its growth. (Mayor's Office, City of Huntsville, Alabama)

Natural ventilation - Natural ventilation uses wind and rising warm air to cool a home without HVAC systems, however the incoming air is not filtered. While most effective in dry climates, in humid areas, it can lead to mold and indoor air quality issues. (U.S. Department of Energy)

Naturally Occurring Affordable Housing (NOAH) – Residential properties that are “affordable” but are not subsidized by any federal programs; the rents are naturally relatively low compared to the regional housing market which often benefit middle income households. (National League of Cities)

Nutritious food - minimally processed, low in salt and sugar, fresh fruits and vegetables, whole grains, etc. food that gives you all the nutrients you need to support the proper function of your body, feel well and have plenty of energy for daily activities

Parking district – uses on-street parking restrictions to reduce traffic in residential areas, minimize environmental impacts from commuting, and maintain property access. (Fairfax County)

Pedestrian clear zone – a roadside space free of obstacles, allowing drivers to stop safely or regain control if they veer off the road. (Federal Highway Administration)

Pedestrian refuge islands – a median that provides a safe resting spot for people crossing wide, busy roads. (Federal Highway Administration)

Permanent Supportive Housing – provides long-term housing and assistance, including rental help and support services, to help households with at least one member (adult or child) with a disability maintain stable housing. (HUD Exchange)

Permeable pavement – a special surface made of porous materials that allows rainwater to permeate or pass through, reducing runoff by storing water and slowly releasing it into the ground or a drainage system. (United States Geological Survey)

Protected bike lane - bike lanes that have a physical separation between it and motor vehicle travel lanes (District Department of Transportation)

Rain gardens – a sunken landscaped area that gathers rainwater from roofs, driveways, or streets, letting it absorb into the ground naturally. (Environmental Protection Agency)

Raised intersections – designed to slow traffic and make drivers more likely to yield to pedestrians at crosswalks. (NACTO)

Rapid Rehousing Program – The Continuum of Care (CoC) program offered by the Department of Housing and Urban Development (HUD) helps people experiencing homelessness find permanent housing by providing short-term financial aid and support services tailored to their needs. (HUD)

Rent Burden – households spending 30 percent or more of pretax income on rent” (Pew Charitable Trust)

Rent Stabilization – policies that limit how often and by how much landlords can raise rent, helping to keep housing costs predictable for tenants. (HUD)

Resilience Hub – a community space that provides power, refrigeration, and a safe environment during emergencies or power outages, helping people stay connected and access essential resources. (Maryland Energy Administration)

Right of First Refusal – a contractual right that allows an eligible, interested party the first right to purchase a property to preserve affordable housing. (Local Housing Solutions)

Road Diet – this approach reduces lane space or removes lanes to create more room for pedestrians and cyclists, improving safety and accessibility. (Institute for Transportation Research and Education, North Carolina State University)

Sensory Urbanism – An interdisciplinary field that explores how people perceive their built environment through the five known senses and more and how to design cities to appeal to those senses and enhance people’s overall experience in an urban space. (Parametric Architecture)

Shared Micromobility – allows people to use small, human or electric-powered vehicles like bikes and scooters as a shared, multi-user transportation option. (Transportation for America)

Shared-Use Paths – “Shared paths are paved, off-road facilities designed for travel by a variety of nonmotorized users, including bicyclists, pedestrians, skaters, joggers, and others” (Federal Highway Administration)

Slip lanes – “Slip lanes are separate turn lanes that allow cars to make a right-hand turn without fully stopping for a red light at an intersection” (Planetizen)

Speed tables – “…midblock traffic calming devices that raise the entire wheelbase of a vehicle to reduce its traffic speed.” (NACTO)

Streetscape – the look and feel of public spaces where people interact, shaped by elements like streetlights, trees, landscaping, and furniture, which help define a community’s identity and atmosphere. (North Central Texas Council of Governments)

Tax Increment Financing (TIF) – a funding tool that uses future property tax increases to finance redevelopment projects.

Third Places – spaces outside home and work where people meet and socialize, like cafés, pubs, main streets, and post offices. (Project for Public Spaces)

Time-restricted loading zones – are designated street spaces where vehicles can load and unload within a set time limit. Outside those hours, the space can be used for regular parking. (City of Philadelphia)

Traffic calming – roadway design and elements used to slow vehicles, improve safety, and create better conditions for pedestrians and cyclists. (Institute of Transportation Engineers)

Transfer of Development Rights (TDR) – a voluntary program where developers buy development rights from owners of rural land within designated preservation areas and use the purchased development rights to build more density or other marketable features in receiving areas where additional development is planned and desired. (Maryland Department of Planning)

Transit-Oriented Development (TOD) – “the creation of compact, walkable, pedestrian-oriented, mixed-use communities centered around high-quality train systems.” (Transit Oriented Development Institute)

Transitional Housing – offers temporary shelter and support services to help people experiencing homelessness gain stability and move toward permanent housing. (HUD)

Transit-signal priority – adjusts traffic signals to give transit vehicles more efficient movement (NACTO)

Two-way cycle track – a protected bike lane that allows cyclists to ride in both directions on one side of the road. (NACTO)

Two-way queue turns – queue boxes give cyclists a designated spot to safely wait and make left or right turns at busy intersections. (NACTO)

Universal Design – designing a space that “can be accessed, understood and used to the greatest extent possible by all people regardless of their age, size, ability or disability.” Some universal design features could include no step entry, wide doorways and hallways, non-slip surfaces. (Centre for Excellence in Universal Design Ireland)

Urban Design - The process of forming and laying out cities, towns, suburban areas, and rural villages by focusing on designing groupings of buildings, neighborhoods, and the public realm, fostering a sense of place. (Plan 2035)

Urban Heat Island - a phenomenon in which a dense metropolitan area is a lot warmer than the rural areas surrounding it due to infrastructure and other human activities. (National Geographic)

Urban land complex soil – soil that has been mixed, moved, and compacted due to development and tend to have poor drainage and low infiltration rates. Compaction negatively impacts soil’s ability to support root growth and absorb water, contributing to stormwater runoff.

Vacant Lot – a lot that does not have a primary structure and does not contain parks or common areas, an access road or paved driveway, parking lot, or maintenance/storage yards (Capitol Heights Vacant Lot Strategy)

Vision Zero – “a strategy to eliminate all traffic fatalities and severe injuries, while increasing safe, healthy, equitable mobility for all” (Vision Zero Network)

Yard Sharing – An approach to expand the availability of locally grown food where an agreement is entered between landowners who have yards that are not being used and growers that do not have their own growing space (Arlington County Virginia)

Appendix B: Community Engagement Summary

Community engagement is essential for shaping a successful sector plan. Involving the community helps define the plan’s vision and goals, guiding the development of policies, strategies, and actions that direct future growth. Engaging a diverse range of stakeholders, including residents, business owners, students, and officials, helps identify key issues, gather feedback, and build support for plan approval and implementation.

Public Participation Program

Per Section 27-3502(c) General Plan, Functional Master Plans, Area Master Plans, and Sector Plans of the Zoning Ordinance, a public participation program was approved to guide community engagement throughout the planning process. In addition, a Spanish Language Public Participation Program was executed to ensure inclusivity, featuring targeted social media, translated documents, live translation during events, and a Spanish-focused community meeting.

Office Hours

From July to August 2023, Planning Department staff held office hours at three community centers in the sector plan area, providing information, answering questions, and gathering input on local strengths, weaknesses, opportunities, and threats (SWOT). The dates, times, and locations for these office hours were:

• Wednesday, July 26, 2023, from 4pm-7pm at Peppermill Community Center

• Thursday, August 3, 2023, from 10am-2pm at Seat Pleasant Activity Center

• Wednesday, August 9, 2023, from 3pm-7:30pm at Prince George’s Sports and Learning Complex

Metro

Pop-Ups

In September and October 2023, staff hosted pop-up events at the three Metro stations within the sector plan area, engaging commuters and gathering feedback on-site. The event at Addison RoadSeat Pleasant Metro Station coincided with The Capital Market, further activating the space. The dates, times, and locations for these events were:

• Wednesday, September 20, 2023, from 3pm-7pm at Capitol Heights Metro Station

• Thursday, September 28, 2023, from 3pm-7pm at Addison Road-Seat Pleasant Metro Station

• Wednesday, October 4, 2023, from 3pm-7pm at Morgan Boulevard Metro Station

Community Events

Between June 2023 and April 2024, staff attended various community events across the sector plan area, offering engagement activities that allowed community members to share their thoughts on the area’s strengths, challenges, opportunities, and vision for the future.

Stakeholder Interviews

Over 30 meetings were conducted between February 2023 and May 2024 with local municipalities, property owners, County and State agencies, and other stakeholders. These meetings helped identify major issues, challenges, and opportunities.

Community Input Meetings

Five community input meetings were held from October to November 2023, with a mix of virtual and in-person formats, gathering insights on grocery store quality, local amenities, safety concerns, property maintenance, and housing needs. A dedicated meeting for the Spanishspeaking community was also held in February 2024.

Virtual Public Kickoff

The Virtual Public Kickoff Meeting on September 27, 2023, engaged over 60 community members and stakeholders, who shared their vision for the area. The project team used Slido.com to gather real-time responses, with live Spanish language translation provided.

Online Community Mapping Tool

From September to November 2023, the community used an ArcGIS Online Survey123 tool to drop pins on a map, indicating SWOT areas within the sector plan boundary. This tool received 49 submissions.

Slido.com and Konveio Visioning

An interactive online tool allowed community members to build Word Clouds representing their vision for the Metro stations and surrounding areas, with 129 responses contributing to draft vision statements. These drafts were reviewed and commented on via Konveio in December 2023.

Open House

The March 2024 open house events at the Sports and Learning Center in Landover culminated the public participation program. Attendees reviewed draft vision statements, planning goals, and urban design scenarios, providing feedback through surveys and discussions.

The events saw more than 234 registrants and 99 attendees over the two days.

Social Media and Email Outreach

Over 100 social media posts and nine email updates were shared to keep the community informed and engaged. These channels promoted events, shared statistics, and encouraged participation.

Flyers Distribution

Over 3,000 flyers were distributed to food distribution sites and apartment complexes in the plan area and two schools confirmed sharing flyers with parents online via Class Dojo

Focus Groups

In December 2024 a select group of identified community leaders (25 members) and Mayors and Council of the Town of Capitol Heights, City of Seat Pleasant, and Town of Fairmount Heights (25 members) were invited to review an advanced copy of the draft plan and draft answers to question prompts about the quality of each plan element chapter as well as the SMA. Two focus group meetings were held in early January 2025 to allow attendees to provide staff with feedback on the plan draft and SMA quality and readability to make edits prior to Permission to Print.

Appendix C: Plan 2035 and Functional Master Plan Amendments

Table C-1. Amendments to Plan Prince George’s 2035 (Plan 2035) Strategy #

GP 1.1 Redesignate the Morgan Boulevard Local Transit Center as a Regional Transit District to align with Regional Transit-Oriented Low-Intensity Core (RTO-L-C) and Edge (RTO-L-E) Zones (See Zoning Changes 1-14 of Sectional Map Amendment.

GP 2.3 Expand the boundaries of the Capitol Heights Local Transit Center to include properties fronting Southern Avenue (See Zoning Change 24 of Sectional Map Amendment).

GP 2.4 Expand the boundaries of the Addison Road-Seat Pleasant Local Transit Center to include properties fronting Southern MD 214 to the East of the Metro Station (See Zoning Changes 40, 41, 42, 43 of Sectional Map Amendment).

GP 1.2 Rezone the stadium property to the Town Activity Center (TAC) Zone. See Zoning Changes 44 and 45 of Sectional Map Amendment).

Amends the Plan 2035 Growth Area Designation by upgrading Morgan Boulevard from a Local Transit Center to a Regional Transit District.

Amends the Plan 2035 Center Designation by adding properties to the Center.

Amends the Plan 2035 Center Designation by adding properties to the Center.

Amends the Plan 2035 Growth Area Designation by creating a new Town Activity Center on the existing Stadium Property.

Table B-2. Amendments to the 2009 Approved Countywide Master Plan of Transportation (MPOT)

TM 1.1 Construct recommended facilities along specified roadways.

All bicycle, pedestrian, and shared-use facility recommendations in Tables Table 10, Table 11, Table 12, Table 13, Table 14, Table 15, Table 16, and Table 25

TM 1.2 Install sidewalks to fill in gaps. All sidewalk recommendations in Table 26 and Table 30

TM 17.4 Discontinue use of Level of Service as key performance metric in the Transit District and Centers.

Multiple Transportation facility recommendations in Table 30.

Eliminate vehicular LOS requirements within the Transit Districts, Centers, and Town Activity Center.

All roadway facility recommendations of Table 30, including, but not limited to Route ID, Facility Name, From, To, Right-of-Way Type, Minimum Right-of-way, Multimodal elements, number of motor vehicle lanes

Table B-3. Amendments to Formula 2040: Functional Master Plan for Parks, Recreation and Open Space (2013)

Strategy # Strategy

Multiple Construct or expand all facilities recommended in Table 34. Recommended New Parks, Recreation, and Public Open Space Facilities and Table 35. Upgrades to Existing Parks and Community Centers.

Formula 2040 carriers forward all existing park and recreation facilities recommended in previously approved area master and sector plans. This sector plan further amends Formula 2040 by adding specific park facilities or additional details, such as typology and amenities, to previously recommended facilities.

Appendix D: Comprehensive Zoning (Sectional Map Amendment) Process

INTRODUCTION

The comprehensive rezoning process in Prince George’s County, known as the Sectional Map Amendment (SMA) process, rezones sections of the county zoning map to align with approved County plans and policies. The SMA for the 2025 Staff Draft Central Avenue-Blue/Silver Line Sector Plan will be approved concurrently to implement its land use recommendations.

The District Council initiated the SMA on May 30, 2023, concurrent with its initiation of the sector plan, through Council Resolution CR-053-2023. The procedure followed was in accordance with Section 27-3502(c) of the Prince George’s County Zoning Ordinance.

COUNTYWIDE SECTIONAL MAP AMENDMENT

The District Council approved the Countywide Sectional Map Amendment (CMA) on November 29, 2021, through Council Resolution CR-136-2021. The CMA went into effect April 1, 2022.

Several of the recommendations of the Staff Draft Central Avenue-Blue/Silver Line Sector Plan cannot be implemented through the zones applied through the CMA. A concurrent Sectional Map Amendment is necessary to apply the appropriate zones to implement the Sector Plan.

The SMA process implements the sector plan’s future land use vision by applying appropriate zone classifications, ensuring future development aligns with county land use plans and policies. This process corrects existing zoning that hinders development and reduces the need for individual rezonings.

Approval of the zoning pattern recommended by the sector plan and implemented by the SMA brings zoning into greater conformity with County land use goals and policies as they apply to the Central Avenue-Blue/Silver Line Sector Plan area, enhancing the health, safety, and welfare of all residents.

In preparing the land use plan and proposed SMA, the County’s Capital Improvement Program, 10Year Water and Sewer Plan, existing land use, and zoning were examined and evaluated. The environmental and economic impacts of the land use and zoning proposals were also considered.

The approval of the SMA results in the revision of the official 1 inch=200 feet scale zoning map(s) for this sector plan area. A summary of the proposed SMA is below; for more information, please visit the project website at: https://www.pgplanning.org/projects/central-avenue-blue-silver-linesector-plan-and-sma pgplan.org/blueline

Master Plan Process & Timeline (27-3502)

For use with the General Plan, Functional Master Plans, Area Master Plans, and Sector Plans

WHERE DO WE PLAN?

The Planning Department’s Master Plan Evaluation Program continuously analyzes geographic areas to prioritize which areas of the County require planning or zoning intervention. The Six-Year Planning Work Program is then formed and reviewed to allocate staff and financial resources for the upcoming fiscal year.

SCOPING

The Planning Department works with the community and stakeholders to determine the plan boundaries and analyzes existing area plans to identify issues. If necessary, the Department will hire outside technical experts to assist. A detailed scope of work is formed to clearly identify team member roles and set a schedule.

2 MONTHS

AUTHORIZATION TO PROCEED

Planning Department submits description, recommended goals, concepts, guidelines, and public participation program to Planning Board and District Council.

INITIATION

The Planning Board and District Council approve the plan’s schedule, goals, concepts, guidelines, and public participation program. This action authorizes the Planning Department to begin work on the preliminary draft of the plan.

PRELIMINARY PLAN

Planning Department drafts the preliminary plan based on: Plan 2035 Recommendations

• Existing Conditions Analysis: The project team gathers information specific to the plan area and identifies opportunities or challenges.

Community and Stakeholder Engagement: The Planning Department uses all forms of media and innovative outreach techniques to educate and elicit feedback from the community, public agencies, and stakeholders, ensuring that non-traditional and underrepresented communities participate.

When complete, the Planning Board authorizes the release of the preliminary plan to the public for free for review and comment and posts on the Planning Department’s website.

Planning Board considers testimony from hearing, considers any changes, and will adopt the plan, adopt the plan with amendments or revisions, return the plan to the Planning Department for further analysis, or disapprove the plan. Plan transmitted to District Council.

District Council will approve the adopted plan, approve the plan with amendments or revisions, return the plan to the Planning Board for further analysis, or disapprove the plan.

If a Sectional Map Amendment to rezone properties is included, notice of the hearing must be advertised in newspapers of record and on the County’s website a minimum of 30 days before the hearing.

The Planning Board and County Council hold a Joint Public Hearing to receive testimony regarding the draft plan. Staff considers this testimony to recommend necessary amendments.

District Council may hold another hearing to consider amendments not based on the original public hearing record. Notification must be sent at least 15 days before the hearing.

Appendix F: Transportation and Mobility

Table 24. Safe Routes to School Improvements

School Traffic

Calming & Speed Limits

Crosswalk & Signage

Unobstructed & buffered sidewalk

Street Lighting Appropriate Bike Facilities

Capitol Heights

Capitol Heights Elementary Speed tables on the south side of Suffolk Avenue X Widen and clear obstructions from sidewalk on west side of Suffolk Avenue

Extend sidewalk on east side to Brooke Road

Improve street lighting on the west side of Suffolk Avenue

Addison Road

Neighborhood Connectivity

Formalized access from Bye Street

Central High Add raised crosswalks and/or speed tables at intersection and school crossing signs at Cabin Branch Road and School Sidewalk

Add a traffic signal to slow traffic and provide safe crossings at Cabin Branch Road and MD 214

Lengthen pedestrian crossing signal at MD 214 and Cindy Lane

Widen planting strip, sidewalks north and south of MD 214 from Cabin Branch to Cindy Lane

Install pedestrianscale street lights on west side of Cabin Branch Road

Implement side path on east side of Cabin Branch Road to link to the CACT

Formalized pedestrian connection from the back of Central High School to Cabin Branch Road and Wilburn Drive for students to access neighborhoods on the other side of Addison Road

On Cabin Branch Road build a sidewalk segment that connects the existing sidewalk to the entrance to the school so there are sidewalks on both sides of street

Seat Pleasant Elementary X Add midblock crossing across G Street at the school entrance Clear obstructions on sidewalk on G Street

Improve direct access to MD 704

Alter MD 704 to be more pedestrian friendly (See Policy TM 3)

Martin Luther King Jr Highway

G. James Gholson Middle School and Cora L. Rice Elem.

Thomas G. Pullen Combination School

X X X

Outside

Reduce speed limit on Brightseat Rd within a quarter mile of the school Add signage along Brightseat Road indicating the presence of a school.

Install crosswalks with short crossing distance across Brightseat Road at the school entrance

To William Paca Elementary

Reduce the speed limit on Sheriff Road within a quarter mile of the school.

Display speed limit signage more prominently east of the school on Sheriff Rd

Install a crosswalk with short crossing distance on the eastern side of the intersection of Sheriff Road and the school entrance

Carmody Hills Elementary X X

Improve crossing to Addison Rd

Improve bicycle infrastructure on Nalley Road and Hill Oaks Rd X

Extend sidewalk on west side of Brightseat Rd going southward from the school to fill in the sidewalk gap X Implement bicycle infrastructure improvements along Brightseat Rd (See Policy TM 3)

Provide connective paths on the back side of the school to Caslon Way, Chatsfield Way and the greater Summerfield/Villages at Morgan Metro apartment area

Explore buffering of sidewalks on Sheriff Road X Implement bicycle infrastructure improvements along Sheriff Road (See Policy TM 3)

Improve connectivity with Palmer Park and Village Green Mutual Homes

Formalize the connection between the Wayne K. Curry Sports and Learning Center and William Paca Elem.

Extend sidewalk on west side of Jadeleaf Ave from school entrance to Hastings Dr X Install sharrows on quiet residential streets surrounding

Improve connection to Pepper Mill Dr and ultimate connection to Peppermill Community Center

Highland Park Elementary X Install a crosswalk with a short crossing distance at Lowland Drive and Elsa Ave. Install a crosswalk with short crossing distance at Hill Road and Lowland Dr.

Carmody Hills Elementary

Install sidewalks and at Lowland Dr and Elsa Ave. X Install sharrows on Lowland Drive and Hill Rd X

Judith P. Hoyer Montessori Reduce the speed limit on Hill Road within a quarter mile of the school. Display speed limit signage south of the school on Hill Road. X Improve Buffering on Hill Rd Improve lighting on Eastern side of Hill Rd X X

Table 25. Recommended Master Plan of Transportation Shared-Use Paths, Trails, and Bike Facilities

Facility Name From To Min. Row Bicycle Facility Notes

Morgan Boulevard

Protected Lane

Ritchie Road Ashwood Road MD 214 (Central Avenue) 8’ Protected Bike Lanes

Shared Lanes

Provide north-south bicycle connection from Walker Mill Regional Park to Morgan Boulevard Metro Focus Area.

Facility Name From To Min. Row Bicycle Facility Notes

Chatsfield Way Valley Trail Lane Tweed Way Shared roadway markings

Provides a connection from Ridgefield Boulevard to the Summerfield Park Trails and adjacent neighborhoods. See also Ridgefield Boulevard.

Mountain View Way Nalley Road Hill Road Park Shared roadway markings Provide pedestrian and bicycle infrastructure to connect residents to Hill Road Park.

Ridgefield Boulevard Garrett A Morgan Boulevard Valley Trail Lane Shared roadway markings

Trails and Side Paths

Milky Way Ritchie Road Ridgeley Rosenwald School 8’ Secondary SharedUse Path

Trail Connections

Dunbar Avenue Connection Garrett A Morgan Boulevard Dunbar Avenue 5’ Trail connection/ Pedestrian path

Hill Road Park/Mountain View Connection

Mountain View Way Hill Road Park 8’ Secondary SharedUse Path

Provides connection from Garrett A Morgan Boulevard to the Summerfield Park Trails and adjacent neighborhoods. See also Chatsfield Boulevard.

Provide an off-road pedestrian and bicycle connection for residents between Walker Mill Regional Park and Ridgeley Rosenwald School.

Provide a short neighborhood connection from the west end of Dunbar Avenue to Garrett A Morgan Boulevard for better access to the Metro station and potential new uses.

Short neighborhood link to provide access to future park programming. Alternatively, it should be developed as UC-425 in a scenario where Hill Road Park is redeveloped.

Hill Road Park/Willow Hill Connection

Hill Road Park/Pacer Connection

Hill Road Park/Gibbs Connection

Willow Hill Court Hill Road Park 8’ Secondary SharedUse Path

Pacer Drive Hill Road Park 8’ Secondary SharedUse Path

Short neighborhood link to provide access to future park programming. Alternatively, should be developed as UC-425 in a scenario where Hill Road Park is redeveloped.

Short neighborhood link to provide access to future park programming. Alternatively, should be developed as UC-425 in a scenario where Hill Road Park is redeveloped.

Gibbs Way Hill Road Park 8’ Secondary SharedUse Path

Short neighborhood link to provide access to future park programming. Alternatively, it should be developed as UC-425 in a scenario where Hill Road Park is redeveloped.

Facility Name From To Min. Row Bicycle Facility Notes

Hillview Road Connection Garrett A Morgan Boulevard

Summerfield Park Trails Connection #1

Approx. Garrett A Morgan Boulevard

Hillview Road 5’ Trail connection/Pedestrian path

Approx. Ridgefield Boulevard 8’ Secondary SharedUse Path

Provide connections from cul-desac to Garrett A Morgan Boulevard to better access the Metro station and potential new uses.

Provides connections from Garrett A Morgan Boulevard and the Metro station, via the CACT, to Summerfield Park Trails and adjacent neighborhoods.

Crown Street MD 214 (E. Capitol Street)

Addison Road

Shared Lanes

Shared roadway markings Shared roadway infrastructure is most appropriate for this small neighborhood street. The impetus of this facility is to improve connection between Addison Road, the CACT, and the Capitol Heights Metro Center. Improved signalization at MD 214 will increase the connection potential to this shared lane.

Dole Place Sultan Avenue Tunic Avenue Shared roadway markings Shared roadway infrastructure connecting Maryland Park to Sultan Avenue

Tunic Avenue Maryland Park Entrance

Dole Place Shared roadway markings Shared roadway infrastructure connecting Maryland Park to Sultan Avenue

Trails and Side Paths

Rollins Avenue Park Connection District Avenue Old Central Avenue 8’ Hard/Natural Surface Trail Viable trail proximate to the Watts Branch from Maryland Park and Capitol Heights to Rollins Avenue Park.

Trail Connections

Maryland Park/Bugler Connection

Maryland Park/Tunic Connection

Maryland Park/Balsam Connection

Bugler Street

Maryland Park 8’ Secondary SharedUse Path Short neighborhood links to existing park paths to provide through movements to all park entrances.

Tunic Avenue

Balsam Street at Vale Place

Maryland Park 8’ Secondary SharedUse Path Short neighborhood link using MNCPPC parcel to existing park paths to provide through movements to all park entrances.

Maryland Park 8’ Secondary SharedUse Path

Short neighborhood links to existing park paths to provide through movements to all park entrances.

Capitol Heights

Notes Capitol Heights Park Trail Connection Suffolk Avenue

MD 332 (Old Central Avenue)

Shared Lanes

Larchmont Avenue Southern Plan Boundary

MD 332 (Old Central Avenue)

Shared roadway markings

Connects from Suffolk Avenue entrance of Capitol Heights Neighborhood Park to Rollins Avenue Park

Addison Road MD 704 (Martin Luther King Jr Highway)

62nd Avenue 5’ Painted Bike Lane, or Barrier Separated where feasible

Balsam Street/Baltic Street Vale Place Addison Road

Cabin Branch Road Wilburn Drive Saint Margarets Drive

Shared Lanes

Shared roadway markings

Provide a north-south bicycle connection for residents in the southern part of Capitol Heights to the CACT and Capitol Heights Metro Station.

Quarry Avenue Wilburn Drive Terminus

Victorianna Drive Plan Boundary

Walbridge Street/Wilburn Drive

Hanlon Street

Rollins Avenue Quarry Avenue

Provides a north-south bicycle connection from Seat Pleasant to Fairmount Heights.

Provide an east-west bicycle connection along Balsam Street and a redesigned Baltic Street from Maryland Park to the CACT and Addison Road.

Shared roadway markings Supplemental to Cabin Branch Trail. Provide a bicycle connection from Addison Road around the Addison Road-Seat Pleasant Metro Focus Area to Central High School.

Shared roadway markings Provide pedestrian and bicycle connections from the Glenwood Hills development to Central High School.

Shared roadway markings

Shared roadway markings

Trails and Side Paths

Provide a bicycle connection to Rollins Avenue within the Brighton Place area

Provide a bicycle connection from the Brighton Place and Addison Road South developments and the Wilburn Estates subdivision to the Cabin Branch Trail and Central High School.

Addison Road
Painted Bike Lanes

Facility Name From To Min. Row Bicycle

Cabin Branch Road Wilburn Drive

Facility Notes

MD 214 (Central Avenue) 10’ Shared-Use Path

Summerfield Town Center

Protected Lane

Hill Oaks Road Michele Drive Summerfield TAC 8’ Protected Bike Lanes

Provide a separate bicycle connection along Cabin Branch Road from the CACT to Central High School and Wilburn Drive. See SL403

Ties into safe routes to school policy. Connects Gholson Middle School to Bishop Peebles Dr (towards Largo) and Morgan Boulevard (towards Morgan Boulevard Metro).

Ring Road Bishop Peebles Bishop Peebles 8’ Protected Bike Lanes Provides necessary linkage in both stadium scenarios.

Sean Taylor Road Summerfield TAC Sherriff Road/Brightseat 8’ Separated Bike Lane Provides connection from Summerfield Area to Sheriff Road.

Morgan Boulevard Gibbs Way Summerfield TAC 8’ Separated Bike Lane Connects Summerfield Area to Metro at Morgan Boulevard.

Trails and Side Paths

Hill Oaks Road Nailey Road Michele Drive 10’ Shared-Use Path

Bishop Peebles Drive Summerfield TAC Brightseat Road 10’ 2-way cycle track (north side)

Ties into safe routes to school policy. Connects Gholson Middle School to Bishop Peebles Dr (towards Largo) and Morgan Boulevard (towards Morgan Boulevard Metro).

Facilitates connection between the stadium area and Downtown Largo. Works in tandem with bicycle and pedestrian facilities in the MDOT I95/I-495 interchange project.

MD 704 (Martin Luther King Jr Highway)

Protected Lane

MD 704 (Martin Luther King Jr Highway) Greig Street Hill Road 8’ Protected bike lane

Painted Bike Lanes

Increase protection of existing bike lanes. Provides bicycle connection supplemental to the parallel WB&A Trail from the Martin Luther King Jr. Highway Focus Area to Glenarden.

Facility Name From To Min. Row Bicycle Facility Notes

Greig St/Cabin Branch Drive Addison Road 71st Avenue 5’ Painted Bike Lane Provides a bike network connection around the MD 704 Focus Area, from Seat Pleasant Drive, through Martin Luther King Jr Highway to Addison Road.

Shared Lanes

67th Place/Eads Street James Farmer Way Addison Road Shared roadway markings Create formalized bicycle connection between MD 704 (via CACT) to key public facilities in Seat Pleasant (Goodwin Park and Police Department).

James Farmer Way 67th Place Addison Road Shared roadway markings Provides direct bicycle and pedestrian connection from MD 704 to Addison Road.

Trails and Side Paths

WB&A Trail Eastern Avenue NE Greig St 10’ 2-way cycle track (north side)

WB&A Trail Greig St Hill Road 10’ Primary Shared-Use Path

Extension of the existing WB&A Trail from MD 450 (Annapolis Road) to the District of Columbia, alongside the old WB&A railroad alignment adjacent to MD 704 (Martin Luther King Jr Highway), and through Seat Pleasant. This section is the on-road portion in the MD 704 Focus Area.

Extension of the existing WB&A Trail from MD 450 (Annapolis Road) to the District of Columbia, alongside the old WB&A railroad alignment adjacent to MD 704 (Martin Luther King Jr Highway), and through Seat Pleasant. This is the off-road portion connecting the MD 704 Focus Area to Glenarden.

Booker T. Homes Neighborhood Park Connection MD 704 (Martin Luther King Jr Highway) Glenn Willow Dr 5’ Trail Connection Add a trail connection at the southeast corner of the park, connecting the park directly with MD 704 and Glenn Willow Drive intersection.

Established Communities

Protected Lane

MD 214 (East Capitol Street/Central Avenue) Norair Avenue Brightseat Road 8’ Protected Bike Lane Provides an east-west bicycle connection from Capitol Heights to Morgan Boulevard Metro Focus Area, supplemental to the CACT.

Facility Name From To Min. Row Bicycle Facility Notes

Painted Bike Lanes

Pepper Mill Drive MD 214 (Central Avenue) Seat Pleasant Drive 5’

Sheriff Road Western Plan Boundary Summerfield TAC Boundary 5’

Hastings Drive Jadeleaf Avenue Hill Road 5’

Painted Bike Lanes

Hill Road Mountain View Way MD 704 (Martin Luther King Jr Highway) 5’

Nalley Road Willow Hill Drive Hill Oaks Road 5’

Protected Bike Line

Provide a north-south bicycle connection for residents in Pepper Mill Village to the CACT. Where ROW allows, provide protection through on-street parking.

Provide east-west bicycle connection from the Prince George’s Sports and Learning Complex to Belle Haven Drive.

Painted Bike Lane Provides an east-west bicycle connection within Pepper Mill Village and advances Safe Routes to Schools principles for Carmody Hills Elementary School.

Painted Bike Lane Provides north-south bicycle connection connecting MD 704 to the Morgan Boulevard Metro Focus Area.

Painted Bike Lane

Seat Pleasant Drive 70th Place Hill Road 5’ Painted Bike Lane

Shared Lanes

Provide bicycle infrastructure to connect residents as segment of north-south connection. See also Belle Haven Drive, Mountain View Way, Village Green Drive. Advances Safe Routes to Schools Goal for Gholson Middle School.

Provides an east-west bicycle connection between Seat Pleasant, specifically the MD 704 Focus Area, and Pepper Mill Village.

Cabin Branch Bicycle Boulevard MD 214 (Central Avenue) Birchleaf Park/MD 704 (Martin Luther King Jr Highway)

Bike Boulevard

Canyon Drive Cindy Lane Pepper Mill Drive

Jadeleaf Avenue Hastings Drive Seat Pleasant Drive

Shared roadway markings

Shared roadway markings

Create a bicycle boulevard that provides a north-south bicycle connection parallel to the Cabin Branch stream valley from Birchleaf Park to MD 214. Along Birchleaf Avenue, Cutlog Street, Dateleaf Avenue, Calmos Street, and Cindy Lane. Uses existing Birchleaf Park and J. Franklyn Bourne Memorial Swimming Pool access roadways.

Provide bicycle infrastructure to connect residents as east-west connection

Provide a bicycle connection from Seat Pleasant Drive to Carmody Hills Elementary School.

Facility Name From To Min. Row Bicycle Facility Notes

Walker Mill Drive/Old Ritchie Road

Shady Glen Drive Old Ritchie Road

Willow Hill Drive Hill Road Terminus

Hastings Drive Canyon Drive Jadeleaf Ave

Shared roadway markings

Shared roadway markings

Shared roadway markings

Trails and Side Paths

Belle Haven Drive Nalley Road Sheriff Road 10’

Shared Use Path

Brightseat Road MD 214 (Central Avenue) Sean Taylor Road 10’ Cycle track/Shared use path

Nalley Road Hill Oaks Road Belle Haven Drive 10’ Shared Use path

Provide pedestrian and bicycle connection between Shady Glen and Ritchie Road.

Provide connection parallel to the CACT for connection to Hill Road Park or potential development north of the Station area.

Provide bicycle infrastructure as an east-west connection within Pepper Mill Village

Provide north-south bicycle connection from Sheriff Road to Gholson Middle School area. See also Nalley Road, Mountain View Way, Village Green Drive.

Provides a north-south bicycle connection around the stadium area connecting MD 214 and the CACT to Sheriff Road. Advance Safe Routes to School goals by providing safer access to School.

Provides a north-south bicycle connection from Sheriff Road to Gholson Middle School area. See also Belle Haven Drive, Mountain View Way, Village Green Drive.

Village Green Drive Belle Haven Drive Northern Plan Boundary 10’ Shared Use path

CACT Western plan boundary

I-95/I-495 (Capital Beltway)

12’ Primary Shared-Use Path (containing both on and off-road facilities)

Provide a north-south bicycle connection for connecting Sheriff Road to Pepper Mill Village. See also Belle Haven Drive, Nalley Road, Mountain View Way, Village Green Drive.

Primary Trail and shared-use path from Downtown Largo to the District of Columbia. M-NCPPC project for on- and off-road bicycle and pedestrian mobility. Off-road facilities are along or adjacent to the WMATA Metrorail alignment. Onroad facilities near Capitol Heights will be determined in later design phases.

Facility Name From

To

CACT MD 332 (Old Central Avenue) MD 704 (Martin Luther King Jr Highway)

Hampton Park Boulevard Southern Plan Boundary MD 214 (Central Avenue)

Min. Row Bicycle Facility Notes

10’ Primary Shared-Use Path

10’ Secondary SharedUse Path

Karen Boulevard Sothern Plan Boundary MD 214 (Central Avenue) 10’ Shared-Use Path

Medical Center Drive Brightseat Road I-95/I-495 Capital Beltway 8’ Shared-Use Path

Trail utilizing the former location of the Chesapeake Beach Railroad to provide a connection between the District of Columbia and central Prince George’s County. This section connects the CACT to Seat Pleasant near MD 704 to improve access to the Addison Road Metro, as well as nearby shopping areas.

Provide a separate off-road path to connect MD 214 to Kingdom Square/Hampton Park development, and industrial areas to the south.

Provide separate off-road bicycle and pedestrian path through Glenwood Hills area..

Provide separate off-road bicycle and pedestrian connection from the Stadium Area to the side path along Medical Center Drive in Largo, through the MDOT I-495/Medical Center interchange project, to provide safe passage over the Capital Beltway, and facilitate connection between Downtown Largo and the stadium area.

Shady Glen Drive Plan Boundary CACT 8’ Secondary SharedUse Path

Cabin Branch Stream Valley Bridge Crossing 71st Avenue Ashleaf Avenue or Birchleaf Avenue

Trail Connections

8’ Secondary SharedUse Path

G. James Gholson Middle School Trail Plan boundary near Twilight Road Nalley Road 8’ Trail connection of both sides of Hill Oaks Road

Provide a separate off-road bicycle and pedestrian connection to Millwood Park and communities south.

Add a bridge over Cabin Branch Stream Valley to provide mid-point east-west crossing connecting isolated neighborhoods between Seat Pleasant Drive and MD 214 (Central Avenue).

Provide a trail connection along the North Side of Gholson Middle school to connect both sides of Hill Oaks Road.

Facility Name From To Min. Row Bicycle Facility Notes

I-95/I-495

Capital Beltway Bridge Crossing

Milwood Park Connection Shady Glen Drive

8’ Hard Surface

Trail/Shared-Use Path

Create a bridge crossing over I-95/I495 Capital Beltway north of MD 214 (Central Avenue) adjacent to or near the Senator Decatur “Bucky” Trotter Memorial Bridge to facilitate the CACT connection to Downtown Largo. The design should avoid surface crossings with entrance and exit ramps.

Milwood Loop 5’ Trail Connection

Add a trail connection trail from the Shady Glen Drive side path to the existing loop at the southern entrance to the park.

• Minimum right-of-way describes the minimum width of total facility on one side of the road.

o Standard Minimum rights-of-way include:

 Painted bike lane: 5’

 Protected bike lane: 8’ (5’ lane + 3’ protection/buffer)

 Shared-use path: 8’

 2-way cycle track: 10’ (5 feet each direction)

Street

Old Central Avenue

Suffolk Avenue

Addison Road

Cabin Branch Road

Segment Side

High Priority

From Southern Avenue to Bayou Avenue

From Vale Place to MD 214 North side North side

From Brooke Road to Capitol Heights Elementary School Entrance East side

From Ernie Banks Street to MD 214 West side

From Wilburn Road to MD 214 East side

Brightseat Road North of MD 214 Both sides

Hill Road

Hill Road

Shady Glen Drive

Rollins Avenue

Medium Priority

From Pemberton Lane to Central Hills Lane East side

From Mary Scot Drive to Willow Hill Drive East side

From Southern Plan Boundary to MD 214 Both sides

From Old Central Avenue to Hanlon Street West side

Table 26. Needed Sidewalk Connections

Nova Avenue

Hill Road

Seat Pleasant Drive

From Cumberland Street to MD 332 West side

From Mountain View Way to Mary Scot Drive West side

From 71st Street to Ashleaf Avenue Both sides

Needed Crosswalks

P60

P-43

Addison Road-Seat Pleasant Metro to Suitland Metro and New Carrollton Metro

Addison Road-Seat Pleasant Metro to Cheverly and Hyattsville

Medium and Low-Frequency

P51 Serving all Metro Stations and Connecting Capitol Heights to Downtown Largo, via Central Avenue

P54 Serving Addison Road-Seat Pleasant Metro and connecting to Pepper Mill Village and Cheverly Metro

P55 Serving Addison Road-Seat Pleasant Metro, and connecting to Pepper Mill Village and Downtown Largo

P56 Serving Morgan Boulevard Metro, and connecting to Ritchie Station and Downtown Largo

Minutes

Minutes

P61 Serving Morgan Boulevard Metro, and connecting to District Heights and Stadium Area 20-30 Minutes

P62 Serving Addison Road-Seat Pleasant Metro, and connecting to Pepper Mill Village, Fairmount Heights, and southern Capitol Heights

P63 Serving Capitol Heights Metro and Addison Road-Seat Pleasant Metro, and connecting to Naylor Road Metro and New Carrollton

P65 Serving Capitol Heights Metro and connecting to District Heights and Forestville via Rollins Avenue

Minutes

Minutes

Minutes

P67 Serving Addison Road-Seat Pleasant Metro, and connecting to Capitol Heights and Forestville 20-30 Minutes

Table 29. Bus Stop Improvements

3002948 Old Central Avenue at Yeoman Place

32001 Addison Road at St. Margret’s School

32409 Central Avenue at Soper Lane

32235 Central Avenue at Cabin Branch Road

300282 Central Avenue across from Pepper Mill Drive

• Lighting

• Bench

• Shelter

• Trash

• Sidewalk

• Paved queuing area

• Crosswalk

• Lighting

• Bench

• Standing Pad/Sidewalk

• Trash

• Lighting

• Shelter

• Trash

• Crossing to take bus other direction

• Lighting

• Bench

• Shelter

• Trash

• Crossing to take bus other direction

• Lighting

• Shelter

• Trash

• Bench

• Unobstructed sidewalk

• Curb cut

• Crossing from the north side of MD 214

3003098 Shady Glen Drive at Walker Mill Drive

3003090 MD 214 (Central Avenue) at Norair Avenue

32221 MD 214 (Central Avenue) at Norair Avenue

3000961 MD 214 (Central Avenue) at Pepper Mill Drive

• Lighting

• Bench

• Shelter

• Trash

• Crossing connection across Shady Glen needed

• Lighting

• Bench

• Shelter

• Trash

• Crossing to other side

• Bench

• Shelter

• Trash

• Crossing to other side

• Lighting

• Bench

• Shelter

3001030 ML King Jr Hwy & Foote St

3000941 Suffolk Av & Central Ave

3000935 Suffolk Ave & Central Ave

3000945 Central Ave & Ventura Ave

3000948 Central Av & Maryland Park Dr

3003159 Hill Oaks Rd & Nalley Rd

3003175 Hill Oaks Rd & Nalley Rd

• Trash

• Unobstructed sidewalk

• Curb ramp

• Lighting

• Bench

• Shelter

• Trash

• Crossing to the other side

• Lighting

• Bench

• Shelter

• Trash

• Crossing to the other side

• Lighting

• Bench

• Shelter

• Trash

• Crossing to the other side

• Lighting

• Bench

• Shelter

• Trash

• Crossing to the other side

• Lighting

• Bench

• Shelter

• Trash

• Unobstructed sidewalk

• Paved queuing area

• Lighting

• Bench

• Shelter

• Trash

• Rapid flash beacons for school entrance

• Lighting

• Bench • Shelter

• Trash

• Rapid flash beacons for school entrance

32238 MD 214 (Central Ave) at Daimler Dr

32406 Peppermill Dr at 214 MD (Central Ave)

• Lighting

• Bench • Shelter • Trash

• Lighting

• Bench

• Shelter • Trash 32241 Peppermill Dr at 214 MD (Central Ave)

3000968 MD 214 (Central Ave) at Shady Glen Rd

3003091 MD 214 (Central Ave) at 7800 Block

3000972 MD 214 (Central Ave) at 7800 Block

3000975 MD 214 (Central Ave) at 7800 Block at Jonquil Ave

3000977 MD 214 (Central Ave) at 7800 Block at Jonquil Ave

3000984 MD 214 (Central Ave) at Westhampton

• Lighting

• Bench

• Shelter • Trash

• Lighting

• Bench

• Shelter • Trash

• Lighting

• Bench

• Shelter • Trash

• Lighting

• Bench

• Shelter

• Trash

• Lighting

• Bench

• Shelter • Trash

• Lighting

• Bench

Shelter • Trash

(Central Avenue) at Ritchie Rd • Lighting

31396 MD 704 (Martin Luther King Jr Highway) at 65h Ave

31398 MD 704 (Martin Luther King Jr Highway) at Cabin Branch Dr

3001009 Addison Rd at Crown St

3001010 Addison Rd & Crown St

31392 Addison Rd & Dry Log St

31644 Addison Rd at Drylog St

3001019 Addison Rd & Eads St

3001018 Addison Rd & Eads St

3001032 Addison Rd at James Farmer Way

3001033 Addison Rd at Seat Pleasant Dr

3001041 Seat Pleasant Dr & 69 Pl

• Bench

• Shelter

• Trash

• Curb cuts/

• Lighting

• Bench

• Shelter

• Trash

• Curb cuts/

• Lighting

• Bench

• Shelter

• Trash

• Curb cuts/

• Lighting

• Bench

• Shelter

• Trash

• Curb cuts/

• Lighting

• Bench

• Shelter

• Trash

• Curb cuts/

• Lighting

• Bench • Shelter

• Trash

• Curb cuts/

• Lighting • Bench • Shelter • Trash

• Curb cuts/

• Lighting

• Bench • Shelter

• Trash

• Curb cuts/

• Lighting

• Bench

• Shelter

• Trash

• Curb cuts/

• Lighting

• Bench

• Shelter

• Trash

• Curb cuts/

3001042

3001090 Seat Pleasant Dr & Hill Rd

3001092 Seat Pleasant Dr & Hill Rd

• Bench

• Shelter

• Lighting

• Shelter

• Trash

UC426^ New Road B –Summerfield TAC

UM428 New Road C –Morgan Boulevard MD 214 (Central Avenue)

UM429 Sheriff Road Summerfield TAC Boundary

*Urban Street Design type is modified as described with authorization by the DPW&T Director, per exceptions described on Page 5 of the DPW&T Urban Street Design Standards.

^ Segment limits are generic and represent the conceptual scenarios for Summerfield Town Center

# Ring Road is designated as a Master Plan facility, in a non-stadium scenario this represents a similar road serving a similar function of area connectivity and can be built to this standard but is not necessary.

Appendix G: Natural Environment

Table 31. Properties Recommended for Conservation Easements

Waterway/Stream Valley

Morgan Boulevard RTD

North Branch of the Patuxent J Central Avenue 2119303 Not Applicable Central Avenue 2119295 7850 Central Avenue 2071470

106 Jonquil Avenue 2010726

104 Jonquil Avenue 2034817

102 Jonquil Avenue 2117083

100 Jonquil Avenue 2065373

12 Jonquil Avenue 2016699

10 Jonquil Avenue 2016681

8 Jonquil Avenue 2097046

6 Jonquil Avenue 2038115

4 Jonquil Avenue 2116267

2 Jonquil Avenue 2116259

Capitol Heights LTC

Watts Branch A Viola Place, Capitol Heights 2035178 (Lots 16-18 2035186 (Lots 19-22)

Unnamed Tributary of Watts Branch B Parcels adjacent to Chamber Avenue between Dole and Altoona Street AND between Brenner Street and Old Central Avenue

Viola Place

26 Capitol Heights Blvd, 2058188 Not applicable 5304 Brenner Street 2076594 5314 Altoona Street 2050466

Chamber Avenue 2009611 1 Chamber Avenue 2021988 5309 Altoona Street 2049930

6000 Old Central Avenue 2022028

Watts Branch D 5622 Coolidge Street 2119428 Not applicable

Coolidge Street 2092344

5726 Bugler Street 2105302

5728 Bugler Street 2105310

5730 Bugler Street 2056919

5732 Bugler Street 2099745

5724 Bugler Street 2105328

5722 Bugler Street 2072122

5720 Bugler Street 2093946

Waterway/Stream Valley

5718 Bugler Street 2082634

Watts Branch E 6118 Old Central Avenue 2005395 (Lots 1-4) Not applicable

4 Uline Place 2005403 (Lots 5-8) 8601 Uline Street 2005411 (Lots 9-14) Addison Road LTC

Watts Branch–Cabin Branch Connection to enhance vegetated corridors L

420 Rollins Avenue 1997535 Not applicable

6101 Elder Street 2053262 6109 Elder Street 3015476 401 Yolanda Avenue 2089290

Established Communities

Unnamed Tributary of Watts Branch C 512 Larchmont Avenue 2120087 (Lots 29-30) Not applicable

Watts Branch F Old Central Avenue 2049377 Not applicable

6117 Old Central Avenue 2016954

5700 Azures Lane 2049369 5700 Canada Street 2012250

515 Ventura Avenue 2016947 517 Ventura Avenue 2016921

5708 Canada Street 3734720

Watts Branch G

Parcels south of Capitol Heights Park and west of Rollins Avenue Park to connect two existing parks

Highmount Lane 1991165 Not applicable 5600 Highmount Lane 2073989 Not applicable

Highmount Lane 2032480 Not applicable Denise Drive 2006302 Denise Drive Rollins Avenue 2006294 Denise Drive

Cabin Branch H 71st Avenue 2013738 Not applicable Cabin Branch I 510 Cabin Branch Road 2065647 Not applicable

Southwest Branch of the Patuxent K Ritchie Road 1413038 Not applicable 8625 Central Avenue 1440890

Watts Branch–Cabin Branch Connection to enhance vegetated corridors M 501 Rollins Avenue 2039139 Not applicable 503 Rollins Avenue 2039154

Cabin Branch–Southwest Branch Connection to facilitate N 0 Shady Glen Dr (Owned by Millwood 2068575 Not applicable

Waterway/Stream Valley Map Location Address Tax ID Vacate Rightof-Way construction of the CACT Community Association)

Appendix H: Community Heritage, Culture, and Design

Table 32. Potential Placemaking Types and Sites

# Name

Morgan Boulevard Regional Transit District

MB1 Summerfield Park Gateway, Public art S Along WMATA ROW just south of 501 Limerick Way

M-NCPPC and WMATA

Potential Project Details Add public art in the right-of-way and highlight as gateway for CACT Capitol Heights Local Transit Center

CH1 Bayou Avenue Vacant Lots Urban farming L 102 Capitol Heights Blvd Town of Capitol Heights

Potential Project Details Add space for urban farming

CH2 MD 214 (East Capitol Street) and Southern Avenue slip lane Gateway, Public art S 6201 Southern Avenue MDOT SHA - State of Maryland (ROW)

Potential Project Details

Add public art in the right-of-way and temporary (to become permanent) closure/redesign of the slip lane. Highlight as gateway for CACT

CH3 Central Avenue Slip Lane Parklet S Approx. 5800 Crown Street MDOT SHA - State of Maryland (ROW)

Potential Project Details Temporary (to become permanent) closure of the slip lane and island as a parklet

CH4 Bugler Street Island Parklet S Approx. 5734 Bugler Street State of Maryland (ROW)/Prince George’s County (TX)

Potential Project Details

CH5 Dole Street, Capitol Heights Blvd, and Chamber Avenue Intersection

Potential Project Details

Temporary (to become permanent) closure/redesign of the slip lane and island as a parklet.

Public art S Across from approx. 102 Chamber Avenue

Town of Capitol Heights

Add public art in the right-of-way and temporary (to become permanent) closure/redesign of the slip lane.

Old Central Avenue Neighborhood Retail Focus Area

OC1 MD 332 (Old Central Avenue) Retaining Walls Public art S 6000 Old Central Avenue; where crosses over Watts Branch stream

MDOT SHA - State of Maryland (ROW) and Iglesia de Dios Pentecostes

Potential Project Details Add mural along a retaining wall or similar to draw attention to and acknowledge Watts Branch stream as a natural resource

OC2 Rainbow Child Development Center Public art S 6045 Old Central Avenue Kim T Mitchell LLC (Tax ID 1992346)

Potential Project Details

Add a mural on façade of building

OC2 Rainbow Child Development Center Public art S 6045 Old Central Avenue Kim T Mitchell LLC (Tax ID 1992346)

Potential Project Details Add a mural on façade of building

OC3 Northeast corner of Chamber Avenue and Gateway, Plaza, Public art S 1 Chamber Avenue Iglesia De Dios Pentecostes

MD 332 (Old Central Avenue)

Potential Project Details

OC4 Southwest corner of MD 332 (Old Central Avenue) and Suffolk Avenue

Potential Project Details

Temporary (to become permanent) plaza with seating and space for community events with Town of Capitol Heights gateway signage

Destination along future CACT. Add public art in the right-of-way and temporary (to become permanent) closure/redesign of the slip lane.

Gateway, Plaza, Public art S 6097 Old Central Avenue Parada Holdings LLC (Tax ID 2106227)

Temporary (to become permanent) plaza with seating, outdoor play, and/or space for community events/food truck hub with Town of Capitol Heights gateway signage. Highlight as a destination along future CACT.

Addison Road Local Transit Center

AR1 Addison Road-Seat Pleasant Metro Station Public art S 100 Addison Rd S WMATA

Potential Project Details Add a mural or other public art along Addison Road and Central Avenue such as on the sides of the Metro station parking garage

AR2 Addison Plaza Shopping Center Public art, Outdoor play S 6200 Central Ave ADDISON PLAZA II ASSOC LLC

Potential Project Details

AR3 Seat Pleasant Fire Station (Closed)

Commercial façade and site beautification improvements such as murals, parking redesign, etc. Potential temporary or pop -up uses such as a farmers’ market, food truck hub, or festivals.

Public art, Community events L 6305 Addison Rd Seat Pleasant Volunteer Fire Department

Potential Project Details Temporary (to become permanent) space for community events and/or museum/gallery space. Add mural or art on the façade.

AR4 Yost Place Public art L Yost Place Multiple Owners

Potential Project Details Redesign the roadway and program as “artist alley” to build upon the existing mural of Martin Luther King Jr. and Malcolm X on the side of Darkkar Autobody.

AR5 Addison Road Brownfield Public art, Environmental resiliency S Approx 6230 Addison Road Addison Station LLC and Addison Station HOA Inc

Potential Project Details Add temporary art installations and landscaping to add visual interest and remediate the site until redevelopment can occur.

AR6 Old Central Avenue and MD 214 (East Capitol Street SE) Convergence Gateway, Public art

S Approx 6202 Old Central Avenue MDOT SHA - State of Maryland (ROW)

Potential Project Details Add public art in the right-of-way. Highlight as gateway for CACT.

Summerfield Town Center

ST1 Northwest Stadium Game-Day Pop-Up Promenade (as recommended in the Downtown Largo Placemaking, Branding, and Wayfinding Strategy) S 1600 Ring Road JKC Stadium Inc and DPW&T

Potential Project Details

A short-term activation with game-day festivities such as space for tailgating and fair activities could encourage excitement for the potential redevelopment of the stadium site.

Martin Luther King Jr Highway Neighborhood Retail Focus Area

ML1 Seat Pleasant Sign Gateway, Plaza L 5710 Martin Luther King Jr Highway City of Seat Pleasant

Potential Project Details

Temporary (to become permanent) plaza with seating, outdoor play, and/or space for community events/food truck hub with City of Seat Pleasant gateway signage. Highlight as a destination along future WB&A trail extension.

ML2 MD 704 (Martin Luther King Jr Highway) Retail Center

Potential Project Details

ML3 Eastern Avenue and MD 704 (Martin Luther King Jr Highway) slip lane

Public art S 5933 Martin Luther King Jr Highway Multiple Owners

Commercial façade and site beautification improvements such as murals, parking redesign, etc. Temporary or pop-up uses such as a farmers’ market, food truck hub, or festivals

Public art S South of 5702 Martin Luther King Jr Highway along District of Columbia line

MDOT SHA – State of Maryland (ROW)

Potential Project Details Add art in the right- of-way and temporary (to become permanent) closure/redesign of the slip lane.

EC1 MD 704 (Martin Luther King Jr Highway)

Retaining Wall #1

Potential Project Details

EC2 MD 704 (Martin Luther King Jr Highway)

Retaining Wall #2

Potential Project Details

EC3 MD 332 (Old Central Avenue) Retaining Walls

Potential Project Details

EC4 MD 704 (Martin Luther King Jr Highway) Bridge over Cabin Branch stream

Potential Project Details

EC5 Seat Pleasant Drive Bridge over Cabin Branch stream

Potential Project Details

EC6 Hampton Park Boulevard Bridge over Southwest Branch stream

Potential Project Details

EC7 Ritchie Road Bridge over Southwest Branch stream

Established Communities

Public art S 5735 Martin Luther King Jr Highway

MDOT SHA & Shining Star Missionary Baptist Church

Add a mural along retaining wall in front of commercial and institutional properties to indicate gateway into the City of Seat Pleasant.

Public art S On north side of roadway, across from McDonalds between Greig St and Glen Willow Dr

MDOT SHA - State of Maryland (ROW)

Add a mural along the retaining wall in front of Pleasant Homes Apartments to indicate gateway into the City of Seat Pleasant.

Public art S 6119 Old Central Avenue; where crosses over Watts Branch stream

MDOT SHA - State of Maryland (ROW)

Add mural along a retaining wall or similar, to draw attention to and acknowledge Watts Branch stream as a natural resource.

Public art S South side of MD 704 between Glen Willow Drive and Booker Drive; where crosses over Cabin Branch stream

MDOT SHA - State of Maryland (ROW)

Add mural along a retaining wall or similar, to draw attention to and acknowledge Cabin Branch stream as a natural resource.

Public Art S Both sides of Seat Pleasant Drive between 71st Avenue and Ashleaf Avenue

City of Seat Pleasant ROW & MNCPPC

Add mural along a retaining wall or similar, to draw attention to and acknowledge Cabin Branch stream as a natural resource.

Public Art S Both sides of Hampton Park Boulevard between Hampton Overlook and Hampton Mall Drive N; where crosses over Southwest Branch stream

DPW&T & SKYE-TMB Inc (RE)

Add mural along a retaining wall or similar, to draw attention to and acknowledge Southwest Branch stream as a natural resource.

Public Art S East side of Ritchie Road between Ashwood Drive and Milky Way; where crosses over Southwest Branch stream

DPW&T

Potential Project Details Add mural along a retaining wall or similar, to draw attention to and acknowledge Southwest Branch stream as a natural resource.

EC8 MD 214 (Central Avenue) Interchange

Potential Project Details

Public art S Intersection of MD 214 (Central Avenue) and I95/I-495 Capital Beltway

Add public art and corridor-themed streetscape landscaping.

City of Seat Pleasant & DPW&T & MDOT SHA

EC9 Arena Drive Interchange Public art S Intersection of Arena Drive and I-95/I-495 Capital Beltway

Potential Project Details

EC10 Gateway from I-95/I495 Capital Beltway

Potential Project Details

EC11 Triangle between Elmleaf Ave, Dateleaf Ave, and Valley Park Rd

Potential Project Details

EC12 Hampton Park Shopping Center

Potential Project Details

EC13 Shady Glen Drive and Millwood Community Assn Inc ROW intersection

Potential Project Details

EC14 Central Avenue Connector Trail (CACT) Capital Beltway Crossing Park

Potential Project Details

Add public art and corridor-themed streetscape landscaping.

Gateway S McDonalds Corp, 8800 Central Ave (Tax Account #2019065)

Add gateway signage at the corner of property.

Urban farming, Parklet S 6503 Valley Park Rd

DPW&T & MDOT SHA

McDonalds Corp

Prince George’s County (Redevelopment Authority)

Add space for urban farming In the short-term close Valley Park Road between Dateleaf Avenue and Elmleaf Avenue for parklet. In the long-term, potentially vacate Valley Park Road right- of-way for consolidation of Countyowned lots at 6503 Valley Park Road

Public art S Hampton Mall Dr. N Multiple Owners

Add public art to bring attention to the channelized Northwest Branch stream running along the eastern edge of the shopping center.

Gateway, Public art S Between 301 Shady Glen Drive and 7426 Shady Glen Terrace

Millwood Community Assn Inc

Add public art in the right-of-way. Highlight as gateway for CACT.

Gateway, Public art M Along WMATA ROW just north of 425 Brightseat Road

WMATA

Add public art in the right-of-way. Highlight as gateway for CACT.

EC15 WMATA Bridge over Cabin Branch Drive Public art S Approx 6601 Central Avenue

Potential Project Details

EC16 Central Avenue Connector Trail (CACT) Crossing MD 214 (Central Avenue)

WMATA

Add public art (a mural) on both sides of the train bridge that crosses above Cabin Branch Drive.

Gateway L Central Ave and Shady Glen Rd intersection

Potential Project Details Add CACT gateway signage at the corner of intersection.

MDOT SHA - State of Maryland (ROW) + Multiple Owners

Appendix I: Public Facilities

Table 33. Inventory of Parks and Community Centers

M-NCPPC Birchleaf Park 801 Birchleaf Avenue, Capitol Heights, MD 20743

M-NCPPC Cabin Branch Stream Valley Park Funderburg Drive, Capitol Heights, MD 20743

M-NCPPC Capitol Heights Park 630 Suffolk Avenue, Capitol Heights, MD 20743

M-NCPPC Capitol Heights South Park 511 Larchmont Avenue, Capitol Heights, MD 20743

Seat Pleasant Goodwin Park 311 68th Place, Seat Pleasant, MD 20743

M-NCPPC Highland Gardens Park 838 Carrington Avenue, Capitol Heights, MD 20743 4.27

M-NCPPC Highland Park 900 Elsa Avenue, Capitol Heights, MD 20743 9.86

and Open Space

and Open

George's County - Park and

•Playground (1)

•Softball Diamond (1)

•Picnic Shelter (1)

•Football/Soccer Combination Field (1)

•Walking Loop Trail (1)

•Basketball, Full Court, Lighted (1)

•Picnic Area (1)

George's County - Park and Recreation •Green Space

Prince George's County - Park and Recreation

George's County - Park and

and Open Space

and Open Space

M-NCPPC Hill Road Park 410 SGT.Hartman Lane, Hyattsville, MD 20785 43.25 Parks and Open Space

M-NCPPC J. Franklyn Bourne Memorial Pool 6500 Calmos St, Capitol Heights, MD 20743 19.51 Parks and Open Space

M-NCPPC John Carroll Park 1414 Nalley Terrace, Landover, MD 20785 28.01

and Open Space

Prince George's County - Park and Recreation

Prince George's County - Park and Recreation

Prince George's County - Park and Recreation

Prince George's County - Park and Recreation

Prince George's County - Park and Recreation

•Basketball, Half Court (4) •Playground (1)

•Natural Surface Trail (1)

•Basketball, Full Court (1) •Playground (1)

M-NCPPC Maryland Park Bugler Street, Capitol Heights, MD 20743 4.01 Parks and Open Space

Prince George's County - Park and Recreation

•Picnic area

•Outdoor Tennis Court (1)

•Playground (1)

•Basketball, Half Court (2)

•Walking Loop Trail (1)

•Basketball court (1)

•Grill (1)

•Picnic area (1)

•Playground (1)

•Tennis court (2)

•Green Space

•Basketball, Full Court (1)

•Playground (1)

•Pool, Outdoor (1)

•Baseball w/ Football Soccer Overlay (1)

•Basketball, Full Court (1)

•Playground (1)

•Outdoor Tennis Court, Lighted (2)

•Basketball, Half Court (2)

•Picnic Area (1)

•Playground (1)

M-NCPPC Millwood Park Building 499 Shady Glen Dr, Capitol Heights, MD 20743

M-NCPPC Nalley Road Park 950 Nalley Road, Landover, MD 20785 37.06

M-NCPPC Peppermill Community Center 610 Hill Rd, North Englewood, MD 20785

M-NCPPC

Prince George's County School

•Outdoor Tennis Court (2)

•Recreation Center (1)

•Walking Loop Trail (1)

•Softball Diamond (1)

•Pavilion (1)

•Basketball, Full Court (1)

•Football/Soccer Combination Field (1)

•Playground (1)

•Basketball, Full Court (3)

•Playground (1)

•Softball with Soccer Overlay Field (1)

•Softball Diamond (1)

•Outdoor Tennis Court (2)

•Playground (1)

•Picnic Area (1)

•Football/Soccer Field, Lighted (1)

•Fitness Cluster (1)

•Walking Loop Trail (1)

•Community Center (1)

•Basketball, Full Court (1)

•Gymnasium (1)

•Outdoor Track, Running Trails (1)

•Indoor Track, Running (1)

•Indoor Track, Walking (1)

•Rental Facility (1)

•Computer Lab (1)

•Computer Classrooms (2)

•Meeting Rooms (5)

•Gymnastics (1)

•Weight Room (1)

•Cardio Room (1)

•Artificial Turf Field (1)

•Cafe (1)

•Fitness Studio (2)

•Field House (1)

•Indoor Pool (2)

•Throwing Field (1) M-NCPPC

•Historic Sites and Museums (Ridgeley School)

Historic Site (William and Mildred Ridgley Gray Residence)

•Basketball court

•Community garden

•Dog park

•Playground

•Tennis court

Seat Pleasant (leased by DPR M-NCPPC; operated, managed and maintained by DPR MNCPPC)

Seat Pleasant Community Center 5720 Addison Rd, Seat Pleasant, MD 20743

Seat Pleasant Seat Pleasant Fit & Fun Park 6200 Seat Pleasant Drive, Seat Pleasant, MD 20743 (Parcel 268, Tax Account 2093722

M-NCPPC Seat Pleasant Heights Park 501 70th Street, Capitol Heights, MD 20743

M-NCPPC Seat Pleasant Park 5900 Martin Luther King Jr Highway, Capitol Heights, MD 20743

M-NCPPC Summerfield Park 8550 Chatsfield Way, North Englewood, MD 20785

and Open Space

•School Community Center (1) •Gymnasium (1)

George's County - Park and Recreation •Playground (1) •Picnic Shelter

(4)

M-NCPPC Willow Hills Park 500 Nalley Road, Hyattsville, MD 20785

and Open Space

George's County - Park and Recreation

•Picnic Shelter (2)

•Walking Loop Trail (1)

•Outdoor Tennis Court, Lighted (2)

•Outdoor Tennis Court (2)

•Playground (1)

•Lake/Pond, Storm Water Management (1)

•Football/Soccer Combination Field (1)

•Fitness Station (1)

•Basketball, Half Court (6)

Source: Prince George’s County Department of Parks and Recreation. “Land Use (Property Info)” and “Park Finder.”

Table 34. Recommended New Parks, Recreation, and Public Open Space Facilities

Morgan Boulevard Regional Transit District

MB1 Morgan Boulevard Greenway Floating Greenway/Linear Park <1 Multiple TBD

Location Follows new roadway parallel to Garrett A Morgan Boulevard connecting Metro station to Central Avenue

All or part of this facility may be located on the following properties:

• 300 Garrett A Morgan Boulevard (Tax ID 3513280)

• 8302 Central Avenue (Tax ID 2084085)

• 8200 Central Avenue (Tax ID 3377041)

Functions, and features/Comments Alignment and dedication/easement/covenant required at preliminary plan of subdivision.

The park may be on either side or both sides of a street.

May include:

• signage

• furniture

• lighting

• widened sidewalks

• bicycle/scooter racks

• stormwater management features

• placemaking elements (public art, wayfinding signage, etc.)

• other amenities as determined through community engagement and site design process

MB2 Morgan Boulevard Metro Station Plaza #1 Floating Plaza <1 WMATA WMATA

Location At the south entrance to the Metro station

All or part of this facility may be located on the following properties:

• 300 Garrett A Morgan Boulevard (Tax ID 3513280)

• 8302 Central Avenue (Tax ID 2084085)

• 8200 Central Avenue (Tax ID 3377041)

Functions, and features/Comments

Alignment and dedication/easement/covenant required at preliminary plan of subdivision.

May include:

• furniture

• lighting

• widened sidewalks

• stormwater management features

• trees

• placemaking elements (public art, wayfinding signage, etc.)

• other amenities as determined through community engagement and site design process

MB3 Morgan Boulevard Metro Station Plaza #2 Floating Plaza <1 Multiple TBD

Location Located adjacent to the proposed amphitheater between the Morgan Boulevard Metro Station and MD 214 (Central Avenue)

All or part of this facility may be located on the following properties:

• 300 Garrett A Morgan Boulevard (Tax ID 3513280)

• 310 Garrett A Morgan Boulevard (Tax ID 3434446)

• 100 Garrett A Morgan Boulevard (Tax ID 2001089)

Functions, and features/Comments

Alignment and dedication/easement/covenant required at preliminary plan of subdivision.

May include:

• furniture

• lighting

• widened sidewalks

• bicycle/scooter racks

• stormwater management features

• trees

• placemaking elements (public art, wayfinding signage, etc.)

• other amenities as determined through community engagement and site design process

• Central Avenue (Tax IDs 3428463, 2035038, 2071421)

• 8300 Central Avenue (Tax ID 2074135)

• 8302 Central Avenue (Tax ID 2084085)

• 8200 Central Avenue (Tax ID 3377041)

• 8104 Central Avenue (Tax ID 2071413)

• 8118 Central Avenue (Tax IDs 2034700, 2034692)

Location Along Capitol Heights Boulevard from Dole Street to Davey Street.

All or part of this facility may be located on the following properties:

• 26 Capitol Heights Blvd (Tax ID 2058188)

• 5304 Brenner Street (Tax ID 2076594)

• 25 Chamber Avenue (Tax ID 2073914)

• 1 Chamber Ave (Tax ID 2021988)

• Chamber Avenue (Tax ID 2009611)

• 5314 Altoona Street (Tax ID 2049930)

• 6000 Old Central Avenue (Tax ID 2022028)

• 6002 Old Central Avenue (Tax ID 2021996)

• 123 Capitol Heights Boulevard (Tax ID 2010130)

• 5408 Faye Street (Tax ID 2015097)

• 5407 Faye Street (Tax ID 2008407)

• 5411 Faye Street (Tax ID 2039758)

• 5406 Emmet Street (Tax ID 2119238)

• 5410 Emmet Street (Tax ID 2011328)

• 107 Capitol Heights Boulevard (Tax ID 1984533)

• 105 Capitol Heights Boulevard (Tax ID 2037349)

• 103 Capitol Heights Boulevard (Tax ID 2000834)

Location At entrance to the station along MD 214 (East Capitol Street SE)

All or part of this facility may be located on the following properties:

Functions, and features/Comments Follows along channelized (or naturalized) Watts Branch tributary.

Alignment and dedication/easement/covenant required at preliminary plan of subdivision.

May include:

• interpretative/wayfinding signage

• furniture

• widened sidewalks

• bicycle/scooter racks

• stormwater management features

• other amenities as determined through community engagement and site design process

Functions, and features/Comments

Alignment and dedication/easement/covenant required at preliminary plan of subdivision.

May include:

• furniture

• lighting

• widened sidewalks

• bicycle/scooter racks

Capitol Heights Local Transit Center
CH1 Capitol Heights Greenway Fixed Greenway/Linear Park ~3 Town of Capitol Heights Town of Capitol Heights
CH2 Capitol Heights Metro Station Plaza Floating Plaza <1 WMATA WMATA

• East Capitol Street (Tax ID 2112860)

• stormwater management features

• trees

• placemaking elements (public art, wayfinding signage, etc.)

• other amenities as determined through community engagement and site design process

CH3 Crown Street Pocket Park Fixed Pocket Park <1 In the ROW (Unknown Ownership in PGAtlas) TBD

Location Lots along MD 214 (East Capitol Street SE) between Crown Street and Burgundy Street

All or part of this facility may be located on the following properties:

• Parts of lots 46-55 of Block 9 of Tolson Heights Subdivision

• Adjacent to 5801 Crown Street (Tax ID 2042802)

Functions, and features/Comments Alignment and dedication/easement/covenant required at preliminary plan of subdivision.

May include:

• furniture

• lighting

• bicycle/scooter racks

• stormwater management features

• trees

• placemaking elements (public art, wayfinding signage, etc.)

• other amenities as determined through community engagement and site design process

Capitol Heights Local Transit Center

CH4 Bugler Street Pocket Park Fixed Pocket Park <1 County TBD

Location All or part of this facility may be located on the following properties:

• Parts of lots 76-86 (Tax IDs 2092351, 2092369, 2092377, 2092393, 2092385, 2092401, 2092427, 2092419)

• and MDOT SHA right-of-way

Functions, and features/Comments Alignment and dedication/easement/covenant required at preliminary plan of subdivision.

May include:

• furniture

• lighting

• bicycle/scooter racks

• stormwater management features

• trees

• placemaking elements (public art, wayfinding signage, etc.)

• other amenities as determined through community engagement and site design process

CH5 Addition to Maryland Park Fixed Neighborhood Park 1.02 Inter-continental Capital LLC M-NCPPC

Location All or part of this facility may be located on the following properties:

• 4 Uline Place; Parcels 1-14, Block 6 (Tax IDs 2005411, 2005403, 2005395)

Functions, and features/Comments Alignment and dedication/easement/covenant required at preliminary plan of subdivision.

May include:

• furniture

• lighting

• stormwater management features

• play equipment/active recreation fields

• trees

• placemaking elements (public art, wayfinding signage, etc.)

• other amenities as determined through community engagement and site design process

Old Central Avenue Neighborhood Retail Focus Area

OC1 Old Central Avenue Plaza #1

Location Intersection of Chamber Avenue and MD 332 (Old Central Avenue)

All or part of this facility may be located on the following properties:

• MD 332 (Old Central Avenue) and Chamber Avenue slip lane

• Central Avenue (Tax ID 2022077)

OC2 Old Central Avenue Plaza #2

Location Intersection of Suffolk Avenue and MD 332 (Old Central Avenue)

All or part of this facility may be located on the following properties:

• 6097 Old Central Avenue (Parcel C; Tax ID 2106227)

• MD 332 right-of-Way

Functions, and features/Comments Alignment and dedication/easement/covenant required at preliminary plan of subdivision.

Destination along future Central Avenue Connector Trail.

May include:

• space for community events

• Furniture

• Lighting

• Stormwater management features

• placemaking elements (public art, wayfinding signage, etc.)

• Town of Capitol Heights gateway signage

• other amenities as determined through community engagement and site design process

Functions, and features/Comments Alignment and dedication/easement/covenant required at preliminary plan of subdivision.

Activate as a plaza in the short-term until redevelopment occurs

Destination is along future Central Avenue Connector Trail

May include:

• space for community events

• Furniture

• Lighting

• Stormwater management features

• placemaking elements (public art, wayfinding signage, etc.)

• Town of Capitol Heights gateway signage

• other amenities as determined through community engagement and site design process

Location At the entrance to the station along MD 214 (Central Avenue)

All or part of this facility may be located on the following properties:

• 100 S Addison Road (Tax ID 2024420)

• 10 Addison Road (Tax ID 2023208)

Functions, and features/Comments Alignment and dedication/easement/covenant required at preliminary plan of subdivision.

May include:

• furniture

• lighting

• widened sidewalks

• bicycle/scooter racks

• stormwater management features

• trees

• placemaking elements (public art, wayfinding signage, etc.)

• other amenities as determined through community engagement and site design process

Location All or part of this facility may be located on the following properties:

• 6200 Central Avenue (Tax ID 2018265)

Addison Road-Seat Pleasant Local Transit Center Common/Green

Location Approximately between MD 214 (East Capitol Street), Baltic Street, 68th Place, and Addison Plaza

All or part of this facility may be located on the following properties:

• Yost Place (Tax ID 2115194)

• Yost Place Condo Strip Shopping Center (Tax IDs 2018455, 2018497, 2018273, 2018281, 8018299, 2018307, 2018315, 2018323, 2018331, 2018349, 2018356, 2018364, 2018372, 2018380, 2018398, 2018406, 2018414, 2018422, 2018430, 2018448, 2018463, 2018471, 2018489, 8018505)

• Baltic Street (Tax IDs 2105161, 2105153, 2105146, 2095743, 2095735, 2094621)

• 5931 Baltic Street (Tax ID 2105138)

• 5907 Baltic Street (Tax IDs 2044394, 2044386)

• 5905 Baltic Street (Tax ID 2082709)

• Central Avenue (Tax IDs 2095784, 2094639, 2007706)

• 44 Yost Place (Tax ID 2083079)

• 42 Yost Place (Tax ID 2041614)

• 40 Yost Place (Tax ID 2024230)

• 38 Yost Place (Tax IDs 2109353, 2109361, 2109387, 2109379, 2109395, 2109403)

• 22 Yost Place (Tax ID 2054914)

• Yacht Place (Tax IDs 2095776, 2033280)

• 25 Yacht Place (Tax IDs 2095768, 2095750)

• 6004 Alpaca Place (Tax ID 2094597)

• Alpaca Place (Tax IDs 2094571, 2094589, 2094613, 2095792)

Functions, and features/Comments Alignment and dedication/easement/covenant required at preliminary plan of subdivision.

May include:

• furniture

• lighting

• widened sidewalks

• bicycle/scooter racks

• stormwater management features

• trees

• placemaking elements (public art, wayfinding signage, etc.)

• space for markets and special events

• other amenities as determined through community engagement and site design process

Functions, and features/Comments Alignment and dedication/easement/covenant required at preliminary plan of subdivision.

May include:

• furniture

• lighting

• stormwater management features

• play equipment

• trees

• placemaking elements (public art, wayfinding signage, etc.)

• other amenities as determined through community engagement and site design process

• Dade Street (Tax ID 2024248)

• Alpaca Street (Tax IDs 2094605, 2095800)

• 6100 East Capitol Street (Tax ID 2007730)

Summerfield Town Center N/A

Martin Luther King Jr Highway Neighborhood Retail Focus Area

MLK1 Welcome to Seat Pleasant Park #1

Fixed Commons/Greens 1.54 City of Seat Pleasant City of Seat Pleasant

Location All or part of this facility may be located on the following properties:

• 5710 Martin Luther King Jr Highway (Parcel 059; Tax ID 2113447)

• 5718 Martin Luther King Jr Highway (Parcel 55; Tax ID 2051076)

Functions, and features/Comments

Alignment and dedication/easement/covenant required at preliminary plan of subdivision.

Realign fencing to allow access by the public and work with Potomac Electric Power Company to properly secure adjacent substation.

Destination along future Washington Baltimore & Annapolis trail extension.

May include:

• furniture

• lighting

• bicycle/scooter racks

• stormwater management features

• trees

• placemaking elements (public art, wayfinding signage, etc.)

• play equipment

• City of Seat Pleasant gateway signage

• other amenities as determined through community engagement and site design process

MLK2 Welcome to Seat Pleasant Park #2 Floating Pocket Park <1 Multiple City of Seat Pleasant

Location On the south side of Martin Luther King Jr Highway between District of Columbia line and James N. Flowers Jr Way All or part of this facility may be located on the following properties:

• Martin Luther King Jr Highway, James N. Flowers Jr Way, and James Farmer Way ROW

• 5701 Martin Luther King Jr Highway (Tax ID 2113298)

• 5703 Martin Luther King Jr Highway (Tax ID 2113306)

• 5715 Martin Luther King Jr Highway (Tax ID 1993120)

• 5725 Martin Luther King Jr Highway (Tax ID 2059525)

• 5733 Martin Luther King Jr Highway (Tax ID 2035731)

• 5735 Martin Luther King Jr Highway (Tax ID 2035723)

• 5737 Martin Luther King Jr Highway (Tax ID 2059517)

• 5739 Martin Luther King Jr Highway (Tax ID 1993625)

• 5741 Martin Luther King Jr Highway (Tax ID 1993617)

Functions, and features/Comments

Alignment and dedication/easement/covenant required at preliminary plan of subdivision.

Incorporate adaptive reuse of the Watkins Hardware Store building at 5701 Martin Luther King Jr Highway.

May include:

• furniture

• lighting

• bicycle/scooter racks

• stormwater management features

• trees

• placemaking elements (public art, wayfinding signage, etc.)

• City of Seat Pleasant gateway signage

• other amenities as determined through community engagement and site design process

Ridgely Methodist Episcopal Church & Cemetery

Location All or part of this facility may be located on the following properties:

• 8900 Central Avenue (Tax ID 2067676)

• Central Avenue (Parcel 46, Tax ID 2072759)

• 9224 Central Avenue (Tax ID 2073419)

• Central Avenue (Tax ID 2073062)

EC2 Central Avenue Connector Trail Capital Beltway Crossing Park

Location Between MD 214 (Central Avenue) interchange and Arena Drive interchange along I-95/I-495 Capital Beltway

All or part of this facility may be located on the following properties:

• 441 Brightseat Road (Tax ID 3785565)

Communities

Functions, and features/Comments

Protect structure, burial grounds, and environmental setting

Include informational storytelling signage

Functions, and features/Comments

Alignment and dedication/easement/covenant required at preliminary plan of subdivision.

May include:

• furniture

• lighting

• stormwater management features

• trees

• placemaking elements (public art, wayfinding signage, etc.)

• other amenities as determined through community engagement and site design process

EC3 Dateleaf Parklet Fixed Pocket Park <1 County City of Seat Pleasant

Location All or part of this facility may be located on the following properties:

• Triangle between Elmleaf Avenue, Dateleaf Avenue, and Valley Park Road (Block I, Lots 1, 2, 3, and 4; Tax ID 2080596)

EC4 Central Avenue Connector Trail – Phase 1

Location In addition to existing publicly owned land, the following parcels may be acquired for trail and park development:

• Millwood Community Assn. Inc., Parcel B (Tax ID 2068575)

• Mikes Capitol Automotive Inc, Parcel 110, (Tax ID 2064426)

• Wahla llc, Parcels 112, 384, A & 113 (Tax ID 2035467, 2035459, 2006179)

• Hgsynergy2 llc, Parcels 414 (Tax ID 2009504)

• T Plus R llc, Parcels 1 (Tax ID 2088888)

EC5 Alternate Central Avenue Connector Trail Alignment –Phase 2

Location In addition to existing publicly owned land, the following parcels may be acquired for trail and park development of the alternate CACT alignment to connect Brightseat Road

Functions, and features/Comments

Passive recreation space with community garden In the short-term close Valley Park Road between Dateleaf Avenue and Elmleaf Avenue for parklet In the long-term vacate Valley Park Road right-of-way for consolidation of County-owned (Redevelopment Authority) lots at 6503 Valley Park Road

Functions, and features/Comments May include:

• exercise equipment

• furniture

• bicycle/scooter racks/repair stand

• lighting/CCTV

• stormwater management features

• placemaking elements (public art, wayfinding signage, etc.)

• other amenities as determined through community engagement and site design process

Functions, and features/Comments Explore the potential alternate CACT alignment to connect with the Brightseat Road at the southeast corner of the Thomas G. Pullen K-8 Creative and Performing Arts School (700 Brightseat Rd).

at the southeast corner of the Thomas G. Pullen K-8 Creative and Performing Arts School (700 Brightseat Rd):

• Prince Georges County, 0 Chatsfield Way, Part of Parcel D, (Tax ID 2819902)

• Hunt VMM LP, 0 Chatsfield Way, Part of Parcel D, (Tax ID 2748440)

• Board Of Education, 700 Brightseat Rd, (Tax ID 1992338)

EC6 Connection of Capitol Heights Neighborhood Park and Rollins Avenue Park

Location All or part of this facility may be located on the following properties:

• 0 Highmount Lane (Tax ID 2032480)

• Denise Drive (Tax ID 2006302)

• Rollins Avenue (Tax ID 2006294)

Additional acquisition and trail connectivity recommended through mandatory dedication of parkland during the development review process.

EC7 Capitol Heights South Park Expansion

Location All or part of this facility may be located on the following properties:

• 5116 Cumberland Street Lots 2428 (Tax ID 2041499)

• Clovis Avenue Lots 17-23 (Tax ID 2071645)

Functions, and features/Comments

Natural area to protect Watts Branch and increase accessibility of Rollins Avenue Park.

May include: • natural surface trails

Functions, and features/Comments

This is an expansion of an existing park facility. MNCPPC would explore the opportunity to acquire the properties listed here for this park expansion, when the properties are up for sale.

To address the need for the expansion of recreation services at this heavily used park and enhancement and protection of natural resources

EC8 East Corner DC Boundary Stone Park Fixed Resource Park <1 National Park Service National Park Service

Location Corner of Eastern Avenue NE and Southern Avenue NE

All or part of this facility may be located on the following properties:

• Eastern Avenue Right-Of-Way

• 225 Eastern Avenue (Tax ID 3733938)

• 229 Eastern Avenue (Tax ID 3733920)

• 233 Eastern Avenue (Tax ID 3733912)

• 237 Eastern Avenue (Tax ID 2061190)

Functions, and features/Comments

Natural area to protect the East Corner District of Columbia Boundary Stone, increase public visibility and access, and celebrate significance with interpretative signage.

The park should be similar in design to West Stone Park/Andrew Ellicott Park in Falls Church, VA

Table 35. Upgrades to Existing Parks and Community Centers

# Name

8 Hill Road Park

Upgrade/Amenity Needed

Location

Morgan Boulevard Regional Transit District

Existing M-NCPPC property adjacent to the northwest of the Morgan Boulevard Metro station

• Formalize access at points along Mountain View Way, Willow Hill Court, and SGT. Hartman Lane

• Implement invasive species management

• Determine community interest and feasibility of formalizing passive or active activities

15 Ridgeley Rosenwald School

Upgrade/Amenity Needed

8507 Central Ave, Capitol Heights, MD 20743

• Improve and add wayfinding, signage, public art, and streetscape landscaping along Central Avenue and Truck Way.

• Explore the possibility of converting the Central Avenue access road as the main entrance to the park

• Add natural buffers between the event lawn and the Central Avenue through streetscape improvements and landscaping and tree planting to address safety and noise issues for events

• Plant trees strategically to offer ample shade in the event lawn while also allowing flexible programming for large community events

• Add interpretive signages along Central Avenue to highlight the history and significance of historic sites and stories and connections

• Continue to support community partnerships for placemaking events to allow opportunities to support local businesses, learn about the local history and culture, celebrate the community identity, and access essential services (such as fresh food, health care, etc.)

o For Example: Create a Demonstration Garden - ‘Celebrating African Roots Kitchen Garden and Orchard’ with flowers, herbs, fruits, and vegetables.

• Mobile healthcare and libraries

20 Summerfield Park 8550 Chatsfield Way, North Englewood, MD 20785

Upgrade/Amenity

Needed

• Complete scheduled playground upgrades

• Complete scheduled pond and dam rehabilitation

• Implement proposed Central Avenue Connector Trail alignment from the 30% design plans

• Add shade to the playground and seating areas

• Determine community interest and feasibility of adding pickleball courts as a shared-use at the existing tennis courts

• Add wayfinding and environmental education interpretive signage along the trails, trailheads, and natural areas throughout the park

• Address maintenance issues with private property owners/homeowners’ associations

• Explore the possibility of adding a dog run/park, a teen-oriented amenity (skate park, parkour park, ninja course, etc.), a community garden, and an adult fitness area

• Include bicycle racks

• Assess the possibility of relocating the existing picnic pavilion from the current location near the pond outflow, to address flooding concerns

• Assess the possibility of widening shared-use paths

• Address non-native invasive species

Capitol Heights Local Transit Center

11 Maryland Park Bugler Street, Capitol Heights, MD 20743

Upgrade/Amenity

Needed

• Improve access, wayfinding, and entry/gateway signage from Bugler Street, Tunic Avenue, and Vale Place and Central Avenue

# Name Location

• Replace and upgrade playground equipment

• Assess solutions to address dumping, littering, and safety issues and concerns

• Explore the possibility of adding a community garden, orchard, or food forest/forest garden

• Assess a potential park expansion through parkland acquisition

Addison Road Local Transit Center N/A

Summerfield Town Center

14 Prince George’s Sports and Learning Complex 8001 Sheriff Rd, Landover, MD 20785

Upgrade/Amenity Needed

• Explore the possibility of adding additional bleachers at the track to qualify for National Collegiate Athletics Association (NCAA) meets

• Explore the possibility of expanding community garden plots

• Explore the possibility of adding a teen-oriented amenity (skate park, parkour park, etc.)

• Explore the possibility of additional permanent restroom facilities for outdoor facility users

• Explore the possibility for expansion to allow additional concession space to support large events

• Add wayfinding and signage paths, park entry points, and parking lots

• Complete pool renovation and stormwater management repairs

Martin Luther King Jr Highway Neighborhood Retail Focus Area

17 Seat Pleasant Activity Center (Owned by the City of Seat Pleasant; operated and managed by current lessee Prince George’s County Department of Parks and Recreation, M-NCPPC)

Upgrade/Amenity Needed

19 Seat Pleasant Park

Upgrade/Amenity Needed

• Add a playground and plaza

5720 Addison Rd, Seat Pleasant, MD 20743

• Add Americans with Disabilities Act (ADA) access to the building from the surface parking at the southeast entrance

• Explore the possibility of adding an intergenerational and accessible community garden (Also see Seat Pleasant Park)

5900 Martin Luther King Jr Highway

• Explore the possibility of adding an intergenerational and accessible community garden (Also see Seat Pleasant Activity Center)

Established Communities

1 Birchleaf Park 801 Birchleaf Avenue, Capitol Heights, MD 20743

Upgrade/Amenity Needed

• Assess the possibility of adding permanent restroom facilities

• Support field renovation that may include surface renovation, goal replacement, additional bleacher pads and bleachers, shade structure, and irrigation

• Complete scheduled playground replacement and field improvements

• Include bicycle/scooter racks

• Update the park signage and add wayfinding and signage along existing loop trail and park entry points

• Add trail connection to Highland Gardens Park (across Booker Drive)

• Add trail connection to the Martin Luther King Jr Highway and Glenn Will Drive intersection

• Add a teen-oriented amenity (skate park, parkour park, etc.)

• Address the non-native invasive growth through the development of a management plan and implementation

• Explore the opportunity to restore and naturalize the existing concrete channelized portion of the Cabin Branch Stream and riparian plantings along the stream in future redesign of the park

2 Cabin Branch Stream Valley Park Funderburg Drive, Capitol Heights, MD 20743

# Name Location

Upgrade/Amenity Needed

• Assess solutions to address dumping, safety, and stormwater management concerns

• Assess public access points from neighboring streets (working with property owners and City of Seat Pleasant)

• Address the non-native invasive growth through the development of a management plan and implementation

• Consider adding passive park amenities (benches, picnic tables, etc.)

3 Capitol Heights Park

Upgrade/Amenity Needed

630 Suffolk Ave, Capitol Heights, MD 20743

• Convert to an undeveloped conservation park through reforestation and removal of existing amenities

• Explore the possibility of adding a community garden, orchard, or food forest/forest garden

• To address safety and security issues, increase visibility of the site using design and maintenance

• Assess a potential trail connection between this park and the Rollins Avenue Park through parkland acquisition

4 Capitol Heights South Park 511 Larchmont Avenue, Capitol Heights, MD 20743

Upgrade/Amenity Needed

• Add shade structure or trees to address the need for shade for the playground and seating at the park

• Formalize parking signage to enforce towing

• Explore the possibility of adding a community garden, orchard, or food forest/forest garden

• Include bicycle/scooter racks

• Expand parkland through acquisition identified in Table 34

5 Goodwin Park (City of Seat Pleasant Municipal Park)

Upgrade/Amenity Needed

311 68th Pl, Seat Pleasant, MD 20743

• Consider teen-oriented amenities (skate park, parkour park, etc.)

• Explore the possibility of adding a community garden, or orchard, or food forest/forest garden

6 Highland Gardens Park 838 Carrington Avenue, Capitol Heights, MD 20743

Upgrade/Amenity Needed

• Address the non-native invasive growth through the development of a management plan and implementation along the existing loop trail in the wooded area.

• Add shade structure or trees to address the need for shade for the playground and seating at the park

• Consider adding a pavilion structure with grills and seating

• Trail connection to Birchleaf Park (across Booker Drive)

• Update the park signage and add wayfinding and signage along existing loop trail and park entry points

• Identify opportunities to daylight, naturalize, and reconnect Cabin Branch tributary to the floodplain in future redesign of the park

7 Highland Park 900 Elsa Avenue, Capitol Heights, MD 20743

Upgrade/Amenity Needed

• Explore the possibility of adding a community garden, orchard, or food forest/forest garden

• Identify opportunities to reconnect Cabin Branch tributary to the floodplain in future redesign of the park

• Investigate the possibility of adding pickleball courts as a shared-use on the existing tennis courts

10 John Carroll Park 1414 Nalley Terrace, Landover, MD 20785

Upgrade/Amenity Needed

• Explore the possibility of adding a community garden, orchard, or food forest/forest garden

9 J. Franklyn Bourne Memorial Pool 6500 Calmos St, Capitol Heights, MD 20743

# Name Location

Upgrade/Amenity Needed

• Add shade structure and lighting to play area

• Explore the expansion of the existing aquatic building to include an indoor recreation space to allow yearlong use and programming opportunities for teens and seniors

• Explore the conversion of a portion of the large, underutilized surface parking into active recreational amenities, such as Futsal/Soccer Mini-Pitch/ Tennis/Pickleball courts

• Support the aquatic building renovation and maintenance work

• Investigate traffic calming and control measures to address vehicle cut throughs

• Enhance surveillance and policing of surface parking by park police to address safety issues

• Assess the possibility of installation of bollard/boulder to avoid trash dumping in upper gated lot.

• Address the tree trimming needs to push back the tree line overhanging the pool area

• Investigate reducing the grass areas surrounding pool to cut down on organic matter in pool and reduce maintenance needs

• Assess future connections to this facility through the development of the Addison Road Brownfield Site

12 Millwood Park Building

Upgrade/Amenity Needed

499 Shady Glen Dr, Capitol Heights, MD 20743

• Explore the possibility of adding a community garden, a small teen-oriented amenity (skate park, parkour park, etc.) and highlight connection to skate park at Walker Mill Regional Park

• Add a direct trail connection to the loop trail from the existing surface parking

• Add a trail connection to the existing loop trail from Shady Glen Drive (along the southern entrance to the park) to allow easy access to the loop trail

• Add a trail connection to the CACT Phase 1 from 0 Shady Glen Drive along Shady Glen Drive

• Add interpretive signage highlighting proximity, connections, and relationship to the historic sites at Walker Mill Regional Park

13 Peppermill Community Center

Upgrade/Amenity Needed

16 Rollins Avenue Park

Upgrade/Amenity Needed

610 Hill Rd, North Englewood, MD 20785

• Explore the possibility of adding an intergenerational and accessible community garden

• Improve the existing trail connection at the Drylog St to allow safe pedestrian and bicycle access for residents

• Add an ADA connection to the tennis courts from the loop trail to allow safe access for all ages and abilities

• Investigate the possibility of adding pickleball courts as a shared-use on the existing tennis courts during the next renovation cycle to address community need

• Add wayfinding and signage along existing loop trail and park entry points

701 Rollins Avenue, Capitol Heights, MD 20743

• Address the invasive growth through the development of a management plan and implementation

• Add shade trees over existing seating

• Explore the possibility of expanding community garden plots

• Improve public access from neighborhoods to the west and south

• Assess the possibility of replacing the current seating at the dog park with a safer design

• Assess the possibility of creating a dedicated small/older dog area within the current dog park

• Implement Phase 2 of the park master plan.

• Further assess the recommended loop trail connections identified on the Phase 2 of the park master plan

# Name Location

• Assess the preservation and rehabilitation needs of the historic structure

18 Seat Pleasant Heights Park 501 70th Street, Capitol Heights, MD 20743

Upgrade/Amenity

Needed

• Provide ADA access paths from adjacent roads for pedestrian access into/through the park amenities while maintaining the large unprogrammed open space for a range of recreation opportunities

• Add fencing to minimize potential conflicts with neighborhood roads to the west and east

• Add perimeter plantings (not pine trees) for additional shade and visible boundary separation from adjacent private homes

• Explore the possibility of adding a community garden

• Add shade for the existing playground

• Add a perimeter loop trail

• Relocate the existing grill to create an obstruction free unprogrammed open space for a range of active park uses, events and programming

• Adjacent lots should be considered for acquisition if they become available for sale

21 Willow Hills Park 500 Nalley Road, Hyattsville, MD 20785

Upgrade/Amenity

Needed

• Assess solutions to address dumping

• Implement invasive species management

• Explore the possibility of adding a dog run/park

• Retain as a conservation park

Appendix J: History Timeline Citations

1. Rountree, Helen C., Clark, Wayne E, Mountford, Kent, Barber, Michael B, Chesapeake Bay Gateways Network, United States National Park Service, Virginia Department of Historic Resources, Maryland Historical Trust, “John Smith’s Chesapeake voyages, 1607-1609,” 2007.

2. The Maryland-National Capital Park and Planning Commission, Approved Historic Sites and District Plan Prince George’s County, Maryland, June 2010, https://www.pgplanning.org/ resource library/approved-historic-sites-and-districts-plan/.

3. Prince George’s County Planning Department, The Ridgley Family in Prince George’s County, December 2009, https://www.pgparks.com/wp-content/uploads/2023/10/RidgleyFamilyHistory.pdf.

4. PBPlaceMaking. “Central Avenue Transit-Oriented Development Corridor Development Strategy.” June 15, 2006. https://www.wmata.com/initiatives/plans/upload/ CentralAvenueforWeb.pdf.

5. Prince George’s County Planning Department, Approved Subregion 4 Master Plan and Sectional Map Amendment, June 2010, page 88 and 93, https://www.pgplanning.org/resource_ library/approved-subregion-4-master-plan-andsectional-map-amendment/

6. KCI Technologies, Inc. “Community Summary Sheet, Capitol Heights.” October 1999. https://www.roads.maryland.gov/oppen/pg_co.pdf

7. Washington Metropolitan Area Transit Authority, “Metro History” https://www.wmata.com/about/history/upload/history.pdf.

8. Pierre, R. E. and Jeter, J. “P.G. Council Votes to Buy Wilson Farm.” The Washington Post. April 5, 1995. https://www.washingtonpost.com/archive/local.

9. Washington Metropolitan Area Transit Authority, “Metro History” https://www.wmata.com/about/history/upload/history.pdf.

10. Ricks, Jessica, “$250-million Hampton Park construction begins in Capitol Heights,” October 2, 2019, https://www.thesentinel.com/communities/prince_george/news/local/250millionhampton-park-construction-begins-in-capitol-heights/article_9630e1eb-7f01-5b87bedc-353c33366050.html.

11. Prince George’s County Government, “Blue Line Corridor & TOD Guidance,” https://www.princegeorgescountymd.gov/departments-offices/blue-line-corridortodguidance#:~:text=In%20January%202023%2C%20the%20Maryland,George’s%20Count y%20Blue%20Line%20Corridor.

Appendix K: Map Citations

*Prince George’s County Planning Department internal GIS data not available via a website or webbased URL.

** Consult the authorized agency for data access.

Map Sources

Standard Basemap Sources may appear on all maps depending on scale

ESRI; Bureau of Transportation Statistics; GeoSystems Global Corporation; National Geographic Maps and Melcher Media, Inc., US Freeway System, Polyline, April 4, 2025 **

ESRI; U.S. Department of Commerce; U.S. Census Bureau; U.S. Department of Commerce; National Oceanic and Atmospheric Administration; National Ocean Service; National Geodetic Survey, US Counties, Polygon, November 21, 2024 **

Prince George’s County Planning Department, Building 2023 Py, Polygon, April 6, 2020, https://gisdata.pgplanning.org/opendata/downloadzip.asp?Fil eName=/data/ShapeFile/Building_2023_Py.zip

Prince George’s County Planning Department, County Boundary Ln, Line, January 1, 2005, https://gisdata.pgplanning.org/opendata/downloadzip.asp?Fil eName=/data/ShapeFile/County_Boundary_Ln.zip

Prince George’s County Planning Department, Hydro Area 2023 Py, Polygon, March 23, 2017, https://gisdata.pgplanning.org/opendata/downloadzip.asp?Fil eName=/data/ShapeFile/Hydro_Area_2023_Py.zip

Prince George’s County Planning Department, Hydro Line 2023 Ln, Line, March 23, 2017, https://gisdata.pgplanning.org/opendata/downloadzip.asp?Fil eName=/data/ShapeFile/Hydro_Line_2023_Ln.zip

Prince George’s County Planning Department, Impervious Surface 2023 Py, Polygon, December 20, 2023, https://gisdata.pgplanning.org/opendata/downloadzip.asp?Fil eName=/data/ShapeFile/Impervious_Surface_2023_Py.zip

Prince George’s County Planning Department, Park Py, Polygon, February 13, 2025, https://gisdata.pgplanning.org/opendata/downloadzip.asp?Fil eName=/data/ShapeFile/Park_Py.zip

Prince George’s County Planning Department, Primary Road Ln, Line, December 5, 2024, https://gisdata.pgplanning.org/opendata/downloadzip.asp?Fil eName=/data/ShapeFile/Primary_Road_Ln.zip

Prince George’s County Planning Department, Rail Transit Ln, Line, September 15, 2023,

1. Central AvenueBlue/Silver Line Sector Plan and Sectional Map Amendment Area Boundary

2. Sector Plan Area: Local Context

3. Sector Plan Area: County Context

4. Councilmanic Districts

https://gisdata.pgplanning.org/opendata/downloadzip.asp?Fil eName=/data/ShapeFile/Rail_Transit_Ln.zip

Prince George’s County Planning Department, Rail Transit Pt, Point, September 12, 2022, https://gisdata.pgplanning.org/opendata/downloadzip.asp?Fil eName=/data/ShapeFile/Rail_Transit_Pt.zip

Prince George’s County Planning Department, Sector Plan Boundary, Polygon, December 17, 2021 *

Prince George’s County Planning Department, Street Centerline Ln, Line, November 21, 2024, https://gisdata.pgplanning.org/opendata/downloadzip.asp?Fil eName=/data/ShapeFile/Street_Centerline_Ln.zip

United States Geological Survey, National Hydrography Dataset, Polygon, February 7, 2023 **

Prince George’s County Planning Department, 2024 Color Imagery (Mar) - 3 inch, Aerial Imagery, March 1, 2024

Prince George’s County Planning Department, GenPln 2035 Center Py, Polygon, April 14, 2025, https://gisdata.pgplanning.org/opendata/downloadzip.asp?Fil eName=/data/ShapeFile/GenPln_2035_Center_Py.zip

Prince George’s County Planning Department, Public Land Py, Polygon, August 15, 2025, https://gisdata.pgplanning.org/opendata/downloadzip.asp?Fil eName=/data/ShapeFile/Public_Land_Py.zip

Prince George’s County Planning Department, GenPln 2035 Center Py, Polygon, April 14, 2025, https://gisdata.pgplanning.org/opendata/downloadzip.asp?Fil eName=/data/ShapeFile/GenPln_2035_Center_Py.zip

Prince George’s County Planning Department, Public Land Py, Polygon, August 15, 2025, https://gisdata.pgplanning.org/opendata/downloadzip.asp?Fil eName=/data/ShapeFile/Public_Land_Py.zip

Prince George’s County Planning Department, GenPln 2035 Center Py, Polygon, April 14, 2025, https://gisdata.pgplanning.org/opendata/downloadzip.asp?Fil eName=/data/ShapeFile/GenPln_2035_Center_Py.zip

Prince George’s County Planning Department, Municipal Boundary Py, Polygon, July 4, 2025, https://gisdata.pgplanning.org/opendata/downloadzip.asp?Fil eName=/data/ShapeFile/Municipal_Boundary_Py.zip

Prince George’s County Planning Department, Cnclmnc Dstrct 2022 Py, Polygon, November 18, 2024,

5. Major Landmarks

6. Plan 2035 Growth Policy

https://gisdata.pgplanning.org/opendata/downloadzip.asp?Fil eName=/data/ShapeFile/Cnclmnc_Dstrct_2022_Py.zip

Prince George’s County Planning Department, GenPln 2035 Center Py, Polygon, April 14, 2025, https://gisdata.pgplanning.org/opendata/downloadzip.asp?Fil eName=/data/ShapeFile/GenPln_2035_Center_Py.zip

Prince George’s County Planning Department, Brnfld Sprfnd EPA Pt, Point, July 15, 2016, https://gisdata.pgplanning.org/opendata/downloadzip.asp?Fil eName=/data/ShapeFile/Brnfld_Sprfnd_EPA_Pt.zip

Prince George’s County Planning Department, Fire Station (supplemental), Point, December 20, 2023 *

Prince George’s County Planning Department, GenPln 2035 Center Py, Polygon, April 14, 2025, https://gisdata.pgplanning.org/opendata/downloadzip.asp?Fil eName=/data/ShapeFile/GenPln_2035_Center_Py.zip

Prince George’s County Planning Department, Historic Site Pt, Point, May 15, 2025, https://gisdata.pgplanning.org/opendata/downloadzip.asp?Fil eName=/data/ShapeFile/Historic_Site_Pt.zip

Prince George’s County Planning Department, Police Station Pt, Point, March 20, 2023, https://gisdata.pgplanning.org/opendata/downloadzip.asp?Fil eName=/data/ShapeFile/Police_Station_Pt.zip

Prince George’s County Planning Department, Post Office Pt, Point, February 5, 2025, https://gisdata.pgplanning.org/opendata/downloadzip.asp?Fil eName=/data/ShapeFile/Post_Office_Pt.zip

Prince George’s County Planning Department, School Pt, Point, December 3, 2024, https://gisdata.pgplanning.org/opendata/downloadzip.asp?Fil eName=/data/ShapeFile/School_Pt.zip

Prince George’s County Planning Department, GenPln 2035 Center Py, Polygon, April 14, 2025, https://gisdata.pgplanning.org/opendata/downloadzip.asp?Fil eName=/data/ShapeFile/GenPln_2035_Center_Py.zip

Prince George’s County Planning Department, GenPln 2035 Growth Plcy Py, Polygon, February 3, 2023, https://gisdata.pgplanning.org/opendata/downloadzip.asp?Fil eName=/data/ShapeFile/GenPln_2035_Growth_Plcy_Py.zip

Prince George’s County Planning Department, GenPln 2035 Policy Area Py, Polygon, May 21, 2014,

7. Plan 2035 Center Amendments

8. Morgan Boulevard Regional Transit District

9. Capitol Heights Local Transit Center

10. Addison Road Local Transit Center

11. Summerfield Town Center

12. Martin Luther King Jr Highway Neighborhood Retail Focus Area

https://gisdata.pgplanning.org/opendata/downloadzip.asp?Fil eName=/data/ShapeFile/GenPln_2035_Policy_Area_Py.zip

Prince George’s County Planning Department, GenPln 2035 Center Py, Polygon, April 14, 2025, https://gisdata.pgplanning.org/opendata/downloadzip.asp?Fil eName=/data/ShapeFile/GenPln_2035_Center_Py.zip

Prince George’s County Planning Department, Proposed Center/District Boundaries, Polygon *

Prince George’s County Planning Department, 2024 Color Imagery (Mar) - 3 inch, Aerial Imagery, March 1, 2024

Prince George’s County Planning Department, Proposed Center/District Boundaries, Polygon *

Prince George’s County Planning Department, 2024 Color Imagery (Mar) - 3 inch, Aerial Imagery, March 1, 2024

Prince George’s County Planning Department, Proposed Center/District Boundaries, Polygon *

Prince George’s County Planning Department, 2024 Color Imagery (Mar) - 3 inch, Aerial Imagery, March 1, 2024

Prince George’s County Planning Department, Proposed Center/District Boundaries, Point *

Prince George’s County Planning Department, 2024 Color Imagery (Mar) - 3 inch, Aerial Imagery, March 1, 2024

Prince George’s County Planning Department, Illustrative Area Annotation, Polygon, August 11, 2025 *

Prince George’s County Planning Department, 2024 Color Imagery (Mar) - 3 inch, Aerial Imagery, March 1, 2024

Prince George’s County Planning Department, Martin Luther King Jr Highway Neighborhood Retail Focus Area, Polygon, December 17, 2021 *

13. Existing Land Use

14. Existing Zoning

Prince George’s County Planning Department, Property Info Py, Polygon, January 1, 2024, https://gisdata.pgplanning.org/opendata/downloadzip.asp?Fil eName=/data/ShapeFile/Property_Info_Py.zip

Prince George’s County Planning Department, Proposed Center/District Boundaries, Polygon *

Prince George’s County Planning Department, Mil Installation Height Py, Polygon, November 15, 2016, https://gisdata.pgplanning.org/opendata/downloadzip.asp?Fil eName=/data/ShapeFile/Mil_Installation_Height_Py.zip

15. Future Land Use Map

Prince George’s County Planning Department, Proposed Center/District Boundaries, Polygon *

Prince George’s County Planning Department, Zoning Py, Polygon, June 1, 2019, https://gisdata.pgplanning.org/opendata/downloadzip.asp?Fil eName=/data/ShapeFile/Zoning_Py.zip

Prince George’s County Planning Department, Future Land Use, Polygon, October 29, 2024 *

Prince George’s County Planning Department, Proposed Center/District Boundaries, Polygon *

16. Opportunity Zones

17. Historically Underutilized Business Zone

Prince George’s County Planning Department, Opportunity Zones IRS Py, Polygon, December 14, 2018, https://gisdata.pgplanning.org/opendata/downloadzip.asp?Fil eName=/data/ShapeFile/Opportunity_Zones_IRS_Py.zip

Prince George’s County Planning Department, Proposed Center/District Boundaries, Polygon *

Prince George’s County Planning Department, HUB Zone SBA Py, Polygon, July 1, 2023, https://gisdata.pgplanning.org/opendata/downloadzip.asp?Fil eName=/data/ShapeFile/HUB_Zone_SBA_Py.zip

Prince George’s County Planning Department, Proposed Center/District Boundaries, Polygon *

18. Enterprise Zone

19. Revitalization Tax Credit District Area

Prince George’s County Planning Department, Enterprise Zone Py, Polygon, September 11, 2019, https://gisdata.pgplanning.org/opendata/downloadzip.asp?Fil eName=/data/ShapeFile/Enterprise_Zone_Py.zip

Prince George’s County Planning Department, Proposed Center/District Boundaries, Polygon *

Prince George’s County Planning Department, Proposed Center/District Boundaries, Polygon *

Prince George’s County Planning Department, Revitalization Tax Credit Py, Polygon, January 13, 2015, https://gisdata.pgplanning.org/opendata/downloadzip.asp?Fil eName=/data/ShapeFile/Revitalization_Tax_Credit_Py.zip

20. Existing Master Planned Right-of-Way

21. Existing Sidewalk Network

Prince George’s County Planning Department, Master Plan Right of Way Py, Polygon, August 18, 2025, https://gisdata.pgplanning.org/opendata/downloadzip.asp?Fil eName=/data/ShapeFile/Master_Plan_Right_of_Way_Py.zip

Prince George’s County Planning Department, Sidewalk 2023 Ln, Line, April 2, 2020,

22. Existing Bicycle, Pedestrian, and Rail Facilities

23. Existing Transit Network

24. Bicycle and Pedestrian Crash Locations (2020-2022)

25. Recommended Pedestrian and Cyclist Facilities

https://gisdata.pgplanning.org/opendata/downloadzip.asp?Fil eName=/data/ShapeFile/Sidewalk_2023_Ln.zip

Prince George’s County Planning Department, Master Plan Ped Bike Fac Ln, Line, August 15, 2025, https://gisdata.pgplanning.org/opendata/downloadzip.asp?Fil eName=/data/ShapeFile/Master_Plan_Ped_Bike_Fac_Ln.zip

Prince George’s County Planning Department, Park Trail Ln, Line, August 4, 2025, https://gisdata.pgplanning.org/opendata/downloadzip.asp?Fil eName=/data/ShapeFile/Park_Trail_Ln.zip

Prince George’s County Planning Department, Bus Route Metro Ln, Line, September 29, 2020, https://gisdata.pgplanning.org/opendata/downloadzip.asp?Fil eName=/data/ShapeFile/Bus_Route_Metro_Ln.zip

Prince George’s County Planning Department, Bus Route THE BUS Ln, Line, December 8, 2023, https://gisdata.pgplanning.org/opendata/downloadzip.asp?Fil eName=/data/ShapeFile/Bus_Route_THE_BUS_Ln.zip

Prince George’s County Planning Department, Bus Stop Metro Pt, Point, August 2, 2019, https://gisdata.pgplanning.org/opendata/downloadzip.asp?Fil eName=/data/ShapeFile/Bus_Stop_Metro_Pt.zip

Prince George’s County Planning Department, Bus Stop THE BUS Pt, Point, December 13, 2023, https://gisdata.pgplanning.org/opendata/downloadzip.asp?Fil eName=/data/ShapeFile/Bus_Stop_THE_BUS_Pt.zip

Maryland Department of State Police, Maryland Crash Data Download, Point, January 1, 2023 **

Prince George’s County Planning Department, School Pt, Point, December 3, 2024, https://gisdata.pgplanning.org/opendata/downloadzip.asp?Fil eName=/data/ShapeFile/School_Pt.zip

Prince George’s County Planning Department, Missing Crosswalk, Polyline, August 27, 2024 *

Prince George’s County Planning Department, Missing Sidewalks, Polyline, August 27, 2024 *

Prince George’s County Planning Department, Recommended Bike and Pedestrian Facilities, Polyline, September 3, 2024 *

26. Bus Stop Improvement Priority

Prince George’s County Planning Department, Bus Stop Improvement Priorities, Point, August 28, 2024 *

27. Recommended Master Planned Rightof-Way

28. Morgan Boulevard Planned Pedestrian and Cyclist Facilities

29. Capitol Heights: Bicycle and Pedestrian Facilities

30. Addison Road Planned Pedestrian and Cyclist Facilities

31. Summerfield Planned Pedestrian and Cyclist Facilities

32. Martin Luther King Jr Highway Planned Pedestrian and Cyclist Facilities

33. Watersheds, Streams, Wetlands, and Floodplains

Prince George’s County Planning Department, Illustrative Area Annotation, Polygon, August 11, 2025 *

Prince George’s County Planning Department, Master Plan Right-ofWay Recommendation, Polyline, October 16, 2024 *

Prince George’s County Planning Department, Proposed Center/District Boundaries, Polygon *

Prince George’s County Planning Department, Recommended Bike and Pedestrian Facilities, Polyline, September 3, 2024 *

Prince George’s County Planning Department, Proposed Center/District Boundaries, Polygon *

Prince George’s County Planning Department, Recommended Bike and Pedestrian Facilities, Polyline, September 3, 2024 *

Prince George’s County Planning Department, Proposed Center/District Boundaries, Point *

Prince George’s County Planning Department, Recommended Bike and Pedestrian Facilities, Polyline, September 3, 2024 *

Prince George’s County Planning Department, Illustrative Area Annotation, Polygon, August 11, 2025 *

Prince George’s County Planning Department, Recommended Bike and Pedestrian Facilities, Polyline, September 3, 2024 *

Prince George’s County Planning Department, Martin Luther King Jr Highway Neighborhood Retail Focus Area, Polygon *

Prince George’s County Planning Department, Recommended Bike and Pedestrian Facilities, Polyline, September 3, 2024 *

Maryland Department of the Environment, Maryland Dam Inventory Database, Point, August 31, 2021 **

Prince George’s County Planning Department, DEM 2023, None, April 11, 2025, https://gisdata.pgplanning.org/opendata/downloadzip.asp?Fil eName=/data/ShapeFile/DEM_2023.zip

Prince George’s County Planning Department, Floodplain DPIE Py, Polygon, March 18, 2021, https://gisdata.pgplanning.org/opendata/downloadzip.asp?Fil eName=/data/ShapeFile/Floodplain_DPIE_Py.zip

Prince George’s County Planning Department, Floodplain FEMA 2016 Py, Polygon, September 15, 2016, https://gisdata.pgplanning.org/opendata/downloadzip.asp?Fil eName=/data/ShapeFile/Floodplain_FEMA_2016_Py.zip

Prince George’s County Planning Department, Watershed DOE Py, Polygon, October 28, 2005,

34. Easements and Woodland Conservation Areas

35. Properties Recommended for Conservation Easements

https://gisdata.pgplanning.org/opendata/downloadzip.asp?Fil eName=/data/ShapeFile/Watershed_DOE_Py.zip

Prince George’s County Planning Department, Wetland DNR Py, Polygon, August 27, 2019, https://gisdata.pgplanning.org/opendata/downloadzip.asp?Fil eName=/data/ShapeFile/Wetland_DNR_Py.zip

Prince George’s County Planning Department, Esmt Envrmntl Py, Polygon, April 1, 2025, https://gisdata.pgplanning.org/opendata/downloadzip.asp?Fil eName=/data/ShapeFile/Esmt_Envrmntl_Py.zip

Prince George’s County Planning Department, Woodland Cnsrvtn Area Py, Polygon, April 2, 2025, https://gisdata.pgplanning.org/opendata/downloadzip.asp?Fil eName=/data/ShapeFile/Woodland_Cnsrvtn_Area_Py.zip

Prince George’s County Planning Department, Esmt Envrmntl Py, Polygon, April 1, 2025, https://gisdata.pgplanning.org/opendata/downloadzip.asp?Fil eName=/data/ShapeFile/Esmt_Envrmntl_Py.zip

Prince George’s County Planning Department, GI Pln 2017 Py, Polygon, April 19, 2017, https://gisdata.pgplanning.org/opendata/downloadzip.asp?Fil eName=/data/ShapeFile/GI_Pln_2017_Py.zip

Prince George’s County Planning Department, Properties Recommended for Acquisition, Polygon, October 17, 2024 *

36. Woodland and Tree Canopy Cover

37. Green Infrastructure Network

Prince George’s County Planning Department, Property Info Py, Polygon, January 1, 2024, https://gisdata.pgplanning.org/opendata/downloadzip.asp?Fil eName=/data/ShapeFile/Property_Info_Py.zip

Prince George’s County Planning Department, Tree Canopy 2020 Py, Polygon, April 6, 2020, https://gisdata.pgplanning.org/opendata/downloadzip.asp?Fil eName=/data/ShapeFile/Tree_Canopy_2020_Py.zip

Prince George’s County Planning Department, GI Pln 2017 Py, Polygon, April 19, 2017, https://gisdata.pgplanning.org/opendata/downloadzip.asp?Fil eName=/data/ShapeFile/GI_Pln_2017_Py.zip

Prince George’s County Planning Department, Wetland DNR Py, Polygon, August 27, 2019, https://gisdata.pgplanning.org/opendata/downloadzip.asp?Fil eName=/data/ShapeFile/Wetland_DNR_Py.zip

38. Brownfields and Soil Hydrologic Group Rating

Prince George’s County Planning Department, Brnfld Sprfnd EPA Pt, Point, July 15, 2016,

39. Residential Detailed Site Plans since 2018

40. Existing County and National Historic Sites, Resources, and Districts

https://gisdata.pgplanning.org/opendata/downloadzip.asp?Fil eName=/data/ShapeFile/Brnfld_Sprfnd_EPA_Pt.zip

Prince George’s County Planning Department, Soil NRCS Py, Polygon, September 15, 2016, https://gisdata.pgplanning.org/opendata/downloadzip.asp?Fil eName=/data/ShapeFile/Soil_NRCS_Py.zip

Prince George’s County Planning Department, Wetland DNR Py, Polygon, August 27, 2019, https://gisdata.pgplanning.org/opendata/downloadzip.asp?Fil eName=/data/ShapeFile/Wetland_DNR_Py.zip

Prince George’s County Planning Department, Detailed Site Plan Py, Polygon, June 13, 2025, https://gisdata.pgplanning.org/opendata/downloadzip.asp?Fil eName=/data/ShapeFile/Detailed_Site_Plan_Py.zip

Prince George’s County Planning Department, Hist Dist Nation Register Py, Polygon, November 5, 2024, https://gisdata.pgplanning.org/opendata/downloadzip.asp?Fil eName=/data/ShapeFile/Hist_Dist_Nation_Register_Py.zip

Prince George’s County Planning Department, Historic Environ Setting Py, Polygon, May 15, 2025, https://gisdata.pgplanning.org/opendata/downloadzip.asp?Fil eName=/data/ShapeFile/Historic_Environ_Setting_Py.zip

Prince George’s County Planning Department, Historic Site Pt, Point, May 15, 2025, https://gisdata.pgplanning.org/opendata/downloadzip.asp?Fil eName=/data/ShapeFile/Historic_Site_Pt.zip

Prince George’s County Planning Department, Municipal Boundary Py, Polygon, July 4, 2025, https://gisdata.pgplanning.org/opendata/downloadzip.asp?Fil eName=/data/ShapeFile/Municipal_Boundary_Py.zip

Prince George’s County Planning Department, National Register Listing Py, Polygon, August 10, 2012, https://gisdata.pgplanning.org/opendata/downloadzip.asp?Fil eName=/data/ShapeFile/National_Register_Listing_Py.zip

41. Potential Placemaking Activation Sites

42. Doctor's Offices, Senior Housing, Activity Centers, and Fitness Centers/Gyms

Prince George’s County Planning Department, Potential Placemaking Sites, Point, October 23, 2024 *

Prince George’s County Planning Department, Bus Route Metro Ln, Line, September 29, 2020, https://gisdata.pgplanning.org/opendata/downloadzip.asp?Fil eName=/data/ShapeFile/Bus_Route_Metro_Ln.zip

Prince George’s County Planning Department, Bus Route THE BUS Ln, Line, December 8, 2023,

43. Community Food Network Locations

https://gisdata.pgplanning.org/opendata/downloadzip.asp?Fil eName=/data/ShapeFile/Bus_Route_THE_BUS_Ln.zip

Prince George’s County Planning Department, Bus Stop Metro Pt, Point, August 2, 2019, https://gisdata.pgplanning.org/opendata/downloadzip.asp?Fil eName=/data/ShapeFile/Bus_Stop_Metro_Pt.zip

Prince George’s County Planning Department, Bus Stop THE BUS Pt, Point, December 13, 2023, https://gisdata.pgplanning.org/opendata/downloadzip.asp?Fil eName=/data/ShapeFile/Bus_Stop_THE_BUS_Pt.zip

Prince George’s County Planning Department, Community Center Pt, Point, July 17, 2024, https://gisdata.pgplanning.org/opendata/downloadzip.asp?Fil eName=/data/ShapeFile/Community_Center_Pt.zip

Prince George’s County Planning Department, Doctor Office Pt, Point, July 1, 2023, https://gisdata.pgplanning.org/opendata/downloadzip.asp?Fil eName=/data/ShapeFile/Doctor_Office_Pt.zip

Prince George’s County Planning Department, Fitness and Community Centers (supplemental), Point, October 29, 2024 *

Prince George’s County Planning Department, Fitness and Health Care Centers (supplemental), Point, October 29, 2024 *

Prince George’s County Planning Department, Senior Activity Center Pt, Point, October 24, 2019, https://gisdata.pgplanning.org/opendata/downloadzip.asp?Fil eName=/data/ShapeFile/Senior_Activity_Center_Pt.zip

Prince George’s County Planning Department, Senior Housing Pt, Point, July 9, 2024, https://gisdata.pgplanning.org/opendata/downloadzip.asp?Fil eName=/data/ShapeFile/Senior_Housing_Pt.zip

Prince George’s County Planning Department, Senior and Specialized Education Centers, Point

Prince George’s County Planning Department, Curbside Groceries and Community Food Programs, Point, October 23, 2024 *

Prince George’s County Planning Department, Farmers Markets and Urban Agriculture, Point, October 23, 2024 *

Prince George’s County Planning Department, Grocery Stores, Point, October 23, 2024 *

Prince George’s County Planning Department, Healthy Food Priority Area Py, Polygon, October 15, 2020,

44. Existing Public Facilities

https://gisdata.pgplanning.org/opendata/downloadzip.asp?Fil eName=/data/ShapeFile/Healthy_Food_Priority_Area_Py.zip

Prince George’s County Planning Department, Community Center Pt, Point, July 17, 2024, https://gisdata.pgplanning.org/opendata/downloadzip.asp?Fil eName=/data/ShapeFile/Community_Center_Pt.zip

Prince George’s County Planning Department, Fire Station Pt, Point, October 14, 2021, https://gisdata.pgplanning.org/opendata/downloadzip.asp?Fil eName=/data/ShapeFile/Fire_Station_Pt.zip

Prince George’s County Planning Department, Hospital Pt, Point, April 23, 2024, https://gisdata.pgplanning.org/opendata/downloadzip.asp?Fil eName=/data/ShapeFile/Hospital_Pt.zip

Prince George’s County Planning Department, Library Pt, Point, August 4, 2023, https://gisdata.pgplanning.org/opendata/downloadzip.asp?Fil eName=/data/ShapeFile/Library_Pt.zip

Prince George’s County Planning Department, Park Building Pt, Point, July 17, 2024, https://gisdata.pgplanning.org/opendata/downloadzip.asp?Fil eName=/data/ShapeFile/Park_Building_Pt.zip

Prince George’s County Planning Department, Picnic Area Pt, Point, May 4, 2017, https://gisdata.pgplanning.org/opendata/downloadzip.asp?Fil eName=/data/ShapeFile/Picnic_Area_Pt.zip

Prince George’s County Planning Department, Playground Pt, Point, April 15, 2021, https://gisdata.pgplanning.org/opendata/downloadzip.asp?Fil eName=/data/ShapeFile/Playground_Pt.zip

Prince George’s County Planning Department, Police Station Pt, Point, March 20, 2023, https://gisdata.pgplanning.org/opendata/downloadzip.asp?Fil eName=/data/ShapeFile/Police_Station_Pt.zip

Prince George’s County Planning Department, School Pt, Point, December 3, 2024, https://gisdata.pgplanning.org/opendata/downloadzip.asp?Fil eName=/data/ShapeFile/School_Pt.zip

Prince George’s County Planning Department, Senior Activity Center Pt, Point, October 24, 2019, https://gisdata.pgplanning.org/opendata/downloadzip.asp?Fil eName=/data/ShapeFile/Senior_Activity_Center_Pt.zip

45. Recommended New Parks, Recreation, and Open Space

46. Recommended Upgrades to Existing Parks and Community Centers

Prince George’s County Planning Department, Senior Housing Pt, Point, July 9, 2024, https://gisdata.pgplanning.org/opendata/downloadzip.asp?Fil eName=/data/ShapeFile/Senior_Housing_Pt.zip

Prince George’s County Planning Department, Senior and Specialized Education Centers, Point

Prince George’s County Planning Department, Water Pumping Stations, Point **

Prince George’s County Planning Department, Fixed and Floating Park Recommendations, Polygon, October 24, 2024 *

See the County basemap for sources.

Certificate of Adoption

CERTIFICATE OF ADOPTION AND APPROVAL

[Insert the plan relationship language from III(a)(iii) above]. The Prince George's County Planning Board of The Maryland-National Capital Park and Planning Commission adopted the Central Avenue-Blue/Silver Line Sector Plan and Sectional Map Amendment by Resolution No. [insert] on [date of adoption]. The Prince George's County Council approved the Central Avenue-Blue/Silver Line Sector Plan and Sectional Map Amendment plan by Resolution No. [insert] on [date of adoption], after duly advertised public hearing[s] held on [date(s)].

THE MARYAND-NATIONAL CAPITAL PARK AND PLANNING COMMISSION

Acknowledgements

Lakisha Hull, AICP, LEED AP BD+C Planning Director

James Hunt Deputy Planning Director

Derick Berlage, AICP Deputy Planning Director (Retired)

Tony Felts, AICP Chief, Community Planning

Core Project Team

Community Planning Division, Master Plans and Studies Planning Section

Kierre McCune Supervisor, Project Facilitator

Justin Thornton Planner II, Core Team Member

Abraham Diallo Planner I, Core Team Member

Lynda Ramirez-Blust Planner II, Core Team Member (Former CPD)

Salma Haoudi Graduate Assistant (2023-2024)

Pablo Espejo Graduate Assistant (2024-2025)

Homayoon Aghili Intern II (Summer 2025)

Community Planning Division, Long-Range Planning Section

William Skibinski Planner III, Project Manager

Elena Perry, AICP Planner III, Deputy Project Manager

Korey Arsenault Planner II, Core Team Member

Community Planning Division, Placemaking Section

Owen Selles Senior GIS Specialist, Core Team Member

Mussie Tewolde, GISP Senior GIS Specialist, Core Team Member (Former CPD)

Zachary Banham Senior GIS Specialist

Project Resource Team

Office of the General Counsel

David S. Warner, Esq. Principal Counsel

Delisa Coleman, Esq. Senior Counsel

Laura M. Tallerico Associate General Counsel

Community Planning Division

Vanessa Akins Special Program Management Coordinator

Scott Rowe Planner IV

Community Planning Division, Neighborhood Revitalization Section

Karen Mierow Planner III

Aaron Stiegler Planner I

Community Planning Division, Placemaking Section

Adam Dodgshon Planning Supervisor

Teddy Levy Planner II (Former CPD)

Countywide Planning Division, Environmental Planning Section

Kim Finch Planner IV

Megan Reiser Planner IV

Countywide Planning Division, Historic Preservation Section

Thomas Gross Planning Supervisor

Tyler Smith Planner II

Countywide Planning Division, Transportation Planning Section

Crystal Hancock Acting Planning Supervisor

Evan Tenenbaum Planner II

Development Review Division, Urban Design Section

Hyojung Garland Planning Supervisor

Information Management Division, Geographic Information Services

Robert Gelner Acting IT Systems Manager

Nora Barenblitt GIS Specialist

Mike Lancaster GIS Specialist

Information Management Division, Research Section

Kui Zhao Planning Supervisor

Charles Wade Planner II

Department of Parks and Recreation

Sonja Ewing Chief, Park Planning and Environmental Stewardship Division

Tanya Hedgepeth

Dominic Quattrocchi

Jameka Smith Assistant Chief, Park Planning and Environmental Stewardship Division Planning Supervisor Supervisor for Land Acquisition and Environmental

Stewardship

Mary Jo Kishter Planner IV (Environmental Planner)

Robert Patten Planner IV (Trail Program Manager)

Don Herring Planner III (Lead Park Planner for Southern Area)

Shubha Punase Planner III (Lead Park Planner for Northern Area)

Sean Adkins Planner II (Trail Planner)

Ellen Huffman Planner II (Trail Planner)

Kerry Wixted Vegetation Ecologist

Paul Sun Land Acquisition Specialist

John Finnerty Planner I

Technical and Administrative Assistance

Office of the Chairman

Calista Black Public Affairs & Marketing Program Division Chief Management Services Division

Daniel Hartmann Department Program Manager

Carly Brockinton Public Affairs & Marketing Specialist II

Shannon Sonnett Public Affairs & Marketing Specialist II

Corianne Setzer Publications Design Specialist

Tamu Wright Publications Design Specialist

M’balu Abdullah IT/Telecom Support Specialist III

Ryan Craun Visual Media & Imaging Specialist III

DeWayne Williams Clerical/Inventory Supervisor

Abinet Birratu Senior Clerical/Inventory Technician

Brian Holmes Senior Clerical/Inventory Technician

Consultants

Stantec Team

John Bachman Principle in Charge

Jess Alexander, PQP, CNU-A Project Manager

Jason Beske, AICP Planner

Craig Sklenar, AICP Urban Designer

Astrid Mayak Urban Designer / Public Engagement

Eadeh Attarzadeh Urban Designer

BAE Urban Economics

Mary Burkholder Principle

Rachael Warner Associate

Special thanks to

City of Seat Pleasant Mayor, Council, and Staff

Town of Capitol Heights Mayor, Council, and Staff

Town of Fairmount Heights Mayor, Council, and Staff

Yuri Borovsky  Tyshea Burrows  Cheryl Cort  Brittney Drakeford  Pastor Harold Dugger

Dr. Douglas Edwards  Mark Falzone  Pat Fletcher  Bryan Franklin  Bradley Heard

Bernard Holloway  Diane Jackson  Carol McCreary Maddox  Daisy Cherry Maggett

Father Michael Moran  Fai Nelson  Samuel Parker, Jr.  Bishop Joel Peebles & Family

Belinda Queen  Kyle Reeder  Kim Rhim  Maurcus Robinson  Myron & Diane Sharp

Sarah Fox-Weaver  Margaret White  Sandy Womack

Central Avenue-Blue/Silver Line

Proposed Sectional Map Amendment

Introduction

In Prince George's County, the Sectional Map Amendment (SMA) process comprehensively rezones properties within a specific geographic area to align with approved County plans. This SMA updates the County zoning map for properties within the 2026 Approved Central Avenue Blue/Silver Line Sector Plan area and was approved concurrently with the sector plan. The zoning changes support the land use recommendations and other policy recommendations of the plan.

The District Council initiated the SMA on May 30, 2023, in conjunction with the sector plan, as authorized by Section 27-3503 of the zoning ordinance.

By updating the zoning classifications of certain properties, the SMA guides development, advances the General Plan's goals, and resolves split-zoned properties without spot zoning. Since each zone has specific uses and limitations (as described in Table 1), selecting a zone dictates the type of development permitted. This zoning process further advances the land use recommendations in both the General Plan and the Sector Plan, contributing to a more holistic implementation of the vision for the County.

The SMA’s purpose is to implement zoning that would permit the desired land use for the area, as guided by residents, business owners, other relevant stakeholders, and the results of the market study

As a result of this, there are several instances where nonconforming use is created. Per Section 27-2500 (Definitions) of the Prince George’s County Zoning Ordinance, a nonconforming use is “The use of any building, structure, or land which is not in conformance with a requirement of the zone in which it is located”. For example, having industrial uses in a single-family residential zone would be nonconforming, so a zoning change from the Industrial, Employment Zone to the Residential, Single-Family-65 Zone would likely result in a nonconforming use. This is justifiable to align these properties to the plan’s vision and create the opportunity for development that matches the desired pattern for the area.

The creation of nonconforming uses via downzoning is explicitly forbidden in the Zoning Ordinance absent a significant public benefit to be served by the zoning based on facts peculiar to the subject property and the immediate neighborhood. (see Section 27-4102(b) and 27-3503(a)(5)(B)).

The SMA has 17 zoning changes that result in nonconformance. Thirteen of those permit higher intensity and uses Zoning Changes 47, 48, 51, and 61 are those that conflict with the zoning ordinance and create nonconformance by rezoning to a less intense zone. Pursuant to Section 27-3503(a)(5)(B) of the Zoning Ordinance, the Planning Board will provide written justification supporting these rezoning recommendations.

Created nonconformances shall be permitted to continue operating as a nonconforming use so long as they receive a “use and occupancy permit… identifying the use as nonconforming, and the use must be certified in accordance with Section 27-3618, Certification of Nonconforming Use ” (Section 27-7102).

The SMA updates the official 1 inch = 200 feet scale zoning map(s) for this sector plan.

Zoning Class

ROS (Reserved Open Space)

AG (Agricultural)

RR (Residential, Rural)

RSF-95 (Residential, Single-Family-95)

RSF-65 (Residential, Single-Family-65)

RSF-A

(Residential, Single-FamilyAttached)

RMF-12

(Residential, Multifamily-12)

Zoning Description

Rural and Agricultural Base Zones

Encourages the preservation of large areas of agriculture, trees, and open spaces; protects scenic and environmentally sensitive areas; ensures the retention of certain areas for non-intensive, active, or passive recreation uses; and provides for a limited range of public, recreational, and agricultural uses.

Provides for low density and development intensity a indicated on the General Plan or applicable Area Master Plan or Sector Plan; provides for areas which are to be developed to uses which preserve the County’s ecological balance and heritage, while providing for the appropriate use and enjoyment of natural resources. Promotes the economic use and conservation of agriculture, natural resources, residential estates, nonintensive recreational uses, and similar uses.

Residential Base Zones

Provides for and encourages variation in the size, shape, and width of singlefamily detached residential subdivision lots, to better utilize their natural terrain; facilitates the planning of single-family residential developments with moderately large lots and dwellings of various sizes and styles; encourages the preservation of trees and open spaces; and prevents soil erosion and stream valley flooding.

Provides for and encourages variation in the size, shape, and width of singlefamily detached residential subdivision lots, to better utilize the natural terrain; facilitates the planning of single-family residential developments with large lots and dwellings of various sizes and styles; encourages the preservation of trees and open spaces to create an estate-like atmosphere; and prevents soil erosion and stream valley flooding.

Provides for and encourages variation in the size, shape, and width of singlefamily detached residential subdivision lots, to better utilize the natural terrain; facilitates the planning of single-family residential developments with large lots and dwellings of various sizes and styles; encourages the preservation of trees and open spaces to create an estate-like atmosphere; and prevents soil erosion and stream valley flooding.

Provides for development in a form that supports residential living and walkability, is pedestrian oriented and is well connected to surrounding lands; provides development that is respectful of the natural features of the land; and provides development that is compatible with surrounding lands.

Makes available low-density, multifamily developments of the “garden apartment” type which would offer many of the advantages normally associated with a single-family dwelling; provides for this type of development at locations recommended in an Area Master Plan or Sector Plan, or at other locations which are found to be suitable by the District Council; and provides for this type of development at locations which are

1 Sections 27-4201, 27-4202, 27-4203, and 27-4204 Current Zoning Ordinance, Prince George’s County, Maryland

RMF-20 (Residential, Multifamily-20)

RMF-48

(Residential, Single-FamilyAttached)

adequately served by facilities such as those for circulation, sanitation, and retail sales and service.

Provides suitable sites for high-density multifamily residential development; provides for this type of development at locations recommended by an Area Master Plan or Sector Plan, or at other locations which are found to be suitable by the District Council; supports multifamily development at sites that are proximate to centers or are at appropriate locations along commercial corridors; and ensures compatibility with surrounding lands.

Provides suitable sites respectful of the natural features of the land for highdensity multifamily residential development and other forms of development that support residential living and walkability; provides for this type of development at locations recommended by an Area Master Plan or Sector Plan, proximate to centers (including transit centers) or at other locations which are found to be suitable by the District Council; and ensures development is compatible with surrounding lands.

Nonresidential Base Zones

CN (Commercial, Neighborhood)

CS (Commercial, Service)

CGO (Commercial, General and Office)

Provides lands for a range of small-scale, low-intensity retail and service commercial development that provides goods and services primarily serving the daily needs of residents of the immediately surrounding neighborhoods; and ensures uses, development intensities, and development forms that are consistent with a pedestrian-friendly and neighborhood-scale, traditional main street character, that are well-connected to and compatible with surrounding areas, and that do not attract significant traffic from outside the surrounding neighborhoods.

Provides for a concentration of retail sales and services (including autooriented commercial uses), office, and eating or drinking establishments; and accommodates medium- to moderately high-density residential development as part of vertically or horizontally mixed-use development

Provides lands for a diverse range of business, civic, and mixed-use development, typically at or near major intersections where visibility and good access are important, in a form that supports connections and a balance between automobile access and pedestrian-friendliness; incorporates development with multiple uses, shared parking, and coordinated signage and landscaping; and accommodates higher-density residential uses as part of vertically or horizontally mixed-use developments.

IE (Industrial, Employment)

RTO (Regional Transit-Oriented)

Provides for a mix of employment, research and development, and light industrial development, with an expectation of high-quality design that is set apart from the high-traffic-generating commercial zones and residential communities; provides lands to serve light industrial uses while prohibiting more intensive forms of industrial development; accommodates limited residential development; and ensures compatibility between industrial development and nearby residential uses.

Transit-Oriented Base Zones

Provide lands for high-intensity, vibrant, mixed-use centers that are intended to capture the majority of the County’s future residential and employment growth and development; incorporate walkable and bikeable areas that are well-connected to a regional transportation network through a range of

LTO (Local TransitOriented)

TAC (Town Activity Center)

transit options; provide a mix of uses that serve regional needs; encourage development that is well integrate in terms of complementary uses, access and circulation and compatible design

Provide lands for moderate-intensity, vibrant, and transit-rich mixed-use centers; incorporates walkable and bikeable areas that are well-connected to a regional transportation network through a range of transit options; provides a mix of uses that serve community-wide needs; and encourages development that is well integrated in terms of complementary uses, access and circulation and compatible design.

Provide for moderate-intensity, auto-accessible, mixed-use centers that serve larger areas of surrounding neighborhoods; provide a mix of uses that serve community-wide needs; encourage development that is well integrated in terms of complementary uses, access and circulation and compatible design .

Other Base Zone

LCD (Legacy Comprehensive Design)

Recognize comprehensive design zones established prior to April 1, 2022 for which a Basic Plan, Comprehensive Design Plan (CDP), or Specific Design Plan (SDP) was approved prior to April 1, 2022 or for lands that were subject to a Zoning Map Amendment (ZMA) and Basic Plan for a comprehensive design zone that was pending prior to April 1, 2022, and was approved pursuant to Section 27-1700, Transition Provisions, after April 1, 2022

Comprehensive Rezoning Changes

This SMA includes 61 zoning changes that will align with the Future Land Use Map (FLUM) and support the sector plan’s overall vision.

Map 4 displays the location of the proposed zoning changes. All maps displayed in this document have been created by M-NCPPC. The following section provides detail on the proposed zoning changes. These changes are broken out by geography and are grouped hierarchically by their location within the different Growth Policy Areas from the Regional Transit District to the Local Transit Centers, to Summerfield Town Center, Martin Luther King Jr Highway Neighborhood Retail Focus area, and lastly in in the established communities which are outside of a Plan Center or Focus Area. See Section II for more details.

Map 1. Existing Zoning
Map 2. Proposed Zoning Changes

Map 3. Zoning Changes

Table 2. Zoning Changes and Area

ZC 1 CGO, RSF-65 to RTO-L-E

ZC 2 LTO-E to RTO-L-E

ZC 3 RR to RTO-L-E

ZC 4

LTO-C to RTO-L-C

ZC 5 LTO-C to RTO-L-E

ZC 6 LTO-C to RTO-L-C

ZC 7 RR to RTO-L-E

Acres

Acres

Acres

Acres

Acres

Acres

Acres

ZC 8 IE to RTO-L-E 1.26 Acres

ZC 9 CGO to RTO-L-E

ZC 10

ZC 11

Acres

RSF-95 to RTO-L-E 1.44 Acres

RSF-95 to RTO-L-E 0.15 Acres

ZC 12 ROS, LTO-E to RTO-L-E

ZC 13 LTO-C to RTO-L-E

Acres

Acres

ZC 14 LTO-E to RTO-L-E 217.38 Acres

ZC 15

ZC 16

ZC 17

ZC 18

ZC 19

ZC 20

ZC 21

RSF-A to LTO-C 1.36 Acres

RSF-65 to LTO-C 0.06 Acres

RSF-65 to LTO-C 0.03 Acres

RSF-65 to LTO-E 14.78 Acres

RSF-65 to RSF-A 4.85 Acres

LTO-C to ROS 1.31 Acres

RSF-65 to LTO-E 0.13 Acres

ZC 22

ZC 23

RSF-65 to RSF-A 9.71 Acres

RSF-A to LTO-E 6.02 Acres

ZC 24 RSF-65 to LTO-E 0.99 Acres

ZC 25

RSF-65 to LTO-E 2.69 Acres

ZC 26 RSF-A to LTO-E 0.99 Acres

ZC 27

RSF-65 to CN 2.26 Acres

ZC 28 RSF-A to CN 8.79 Acres

ZC 29 RR to CN 0.80 Acres

ZC 30 RSF-A to CN 2.91 Acres

ZC 31 RSF-A to LTO-E 0.87 Acres

ZC 32 RSF-65 to RSF-A 0.50 Acres

ZC 33 RSF-A to LTO-E 7.72 Acres

ZC 34 AG to ROS 1.02 Acres

ZC 35 RSF-65 to LTO-E 30.51 Acres

ZC 36 RSF-A, RSF-65 to LTO-E 6.98 Acres

ZC 37 RSF-A to LTO-E 9.85 Acres

ZC 38 RSF-65 to LTO-E 23.30 Acres

ZC 39 LTO-E to LTO-C 34.61 Acres

ZC 40 CGO to LTO-E 0.66 Acres

ZC 41 RSF-A to LTO-E 2.71 Acres

ZC 42 CS to LTO-E 0.68 Acres

ZC 43 RSF-65 to LTO-E 1.44 Acres

ZC 44 LCD to TAC-E 246.30 Acres

ZC 45 LCD to TAC-C 23.22 Acres

ZC 46 IE to RSF-A 4.58 Acres

ZC 47 IE to CN 3.61 Acres

ZC 48 IE to CN 5.92 Acres

ZC 49 IE to CS 1.95 Acres

ZC 50 IE to RSF-65 2.74 Acres

ZC 51 IE to RSF-65 1.26 Acres

ZC 52 RSF-65 to ROS 9.95 Acres

ZC 53 RSF-A to CN 0.12 Acres

ZC 54 AG to ROS 18.09 Acres

ZC 55 RR to ROS 1 Acre

ZC 56 RSF-65 to RSF-A 12.89 Acres

ZC 57 RSF-65 to CGO 3.14 Acres

ZC 58 RMF-48 to CGO 10.27 Acres

ZC 59 RMF-48 to IE 111.73 Acres

ZC 60 RSF-A to RMF-20 0.74 Acres

ZC 61 IE to CGO 48.50 Acres

Table 3. Acreage Change Per Zone

Figure 1. Zoning Change Legend

Morgan Boulevard Regional Transit District

Map 4. Existing Zoning
Map 5. Proposed Zoning

Table 4. Morgan Boulevard Zoning Changes

ZC 1

ZC 2

CGO, RSF-65 to RTO-L-E

LTO-E to RTO-L-E

ZC 3 RR to RTO-L-E

ZC 4

ZC 5

LTO-C to RTO-L-C

LTO-C to RTO-L-E

ZC 6 LTO-C to RTO-L-C

ZC 7 RR to RTO-L-E

Acres

Acres

Acres

Acres

Acres

Acres

Acres

ZC 8 IE to RTO-L-E 1.26 Acres

ZC 9

CGO to RTO-L-E 0.25 Acres

ZC 10 RSF-95 to RTO-L-E 1.44 Acres

ZC 11 RSF-95 to RTO-L-E 0.15 Acres

ZC 12 ROS, LTO-E to RTO-L-E

ZC 13 LTO-C to RTO-L-E

ZC 14 LTO-E to RTO-L-E

Acres

Acres

Acres

Zoning Change 1 (ZC 1): CGO, RSF-65 to RTO-L-E

Zoning Change No

ZC 1 CGO, RSF65 RTO-L-E 26.50 Acres Morgan Boulevard LU 1, LU 2, LU 6, LU 8, EP 6, HN 11, HN 12, HC 13, PF 16 201NE07, 201SE07

Future Land Use

Mixed Use

Does the rezoning create nonconformance? No

Justification: The transit district boundary shall be extended to include this property and permit rezoning to the RTO-L-E Zone from the CGO and RSF-65 Zones.

The plan recommends rezoning to support transit-oriented development and to provide a transition from the RTO-L-C Zone to the single-family zones adjacent to it. Sector plan Policies LU 6 and HN 11 envision mixed-use development that integrates residential, commercial, and community resources at a density that supports transit use and access. This rezoning is necessary due to the upgraded Growth Policy designation from a local center to a regional district.

Tax Accounts

2110575, 2119295, 2119303

Zoning Change 2 (ZC 2): LTO-E to RTO -L-E

Zoning

ZC 2 LTO-E RTO-L-E 96.72

Acres Morgan Boulevard LU 1, LU 2, LU 6, LU 8, EP 6, HN 11, HN 12, HC 13, PF 16 201SE07, 201SE08, 201NE07, 201NE08

Future Land Use

Mixed Use and Institutional

Does the rezoning create nonconformance? Yes

Justification: The proximity to the Morgan Boulevard Metro Station and its potential as a mixed-use, amenity-rich economic generator for the County makes these properties appropriate for this high intensity, transit-supportive zone.

Under the proposed RTO-L-E Zone the existing consolidated storage, and heavy equipment sales are nonconforming uses. This nonconformance advances Sector plan Policies LU 6 and HN 11 which envision mixed-use development that integrates residential, commercial, and community resources at a density that supports transit use and access. This rezoning is necessary due to the upgraded Growth Policy designation from a local center to a regional district.

Tax Accounts

2094084, 2067494, 2071470, 2089274, 2060135, 5509917, 2964278, 5605917, 2964286, 2099075, 3565587, 2040947, 2013654, 5505086, 5505094, 1999457, 1999465, 2083558, 2016467, 2010460, 2016475, 1507425, 1528181, 1507409, 1425230, 1446277, 2750222, 1391168, 1443381, 1440734, 1538578, 1440759, 1507433, 2015162, 2015170, 2069565, 2073351, 2104198, 2018117, 2082154, 2082162, 2073369, 2073377

Zoning Change 3 (ZC 3): RR to RTO-L-E

Zoning Change No

ZC 3 RR RTO-L-E 6.63 Acres Morgan Boulevard LU 1, LU 2, LU 6, LU 8, EP 6, HN 11, HN 12, HC 13, PF 16 202NE07, 202NE08 203NE07, 203NE08

Future Land Use

Mixed Use

Does the rezoning create nonconformance? Yes

Justification: The proximity to the Morgan Boulevard Metro Station and its potential as a mixed-use, amenity-rich economic generator for the County makes these properties appropriate for this high intensity, transit-supportive zone.

Under the proposed RTO-L-E Zone, existing single-family detached residential dwellings will become nonconforming. This nonconformance advances sector plan Policies LU 6 and HN 11 which envision mixed-use development that integrates residential, commercial, and community resources at a density that supports transit use and access. The current zone, RR, which primarily supports rural development cannot implement these policies.

Tax Accounts

2007656, 2060051, 2079473, 2107977, 2044089, 2115996, 2047207, 2095040, 2083939, 2119535, 2084150, 2084143, 2116259, 2116267, 2038115, 2097046, 2016681, 2016699, 2065373, 2117083, 2034817, 2010726, 2080935, 2080943, 2080950

Zoning Change 4 (ZC 4): LTO-C to RTO -L-C

Zoning Change No

ZC 4 LTO-C RTO-L-C 9.10 Acres Morgan Boulevard LU 1, LU 2, LU 6, LU 8, EP 6, HN 11, HN 12, HC 13, PF 16

Future Land Use

201SE07, 201SE08

Mixed Use

Does the rezoning create nonconformance? No

Justification: The proximity to the Morgan Boulevard Metro Station and its potential as a mixed-use, amenity-rich economic generator for the County makes the property appropriate for this high intensity, transit-supportive zone.

Sector plan Policies LU 6 and HN 11 envision mixed-use development that integrates residential, commercial, and community resources at a density that supports transit use and access. The RTO-L-C Zone enables a character of development that fits in this context. This rezoning is necessary due to the upgraded Growth Policy designation from a local center to a regional district.

Tax Accounts

1992460, 5705881, 1992619

Zoning Change 5 (ZC 5): LTO-C to RTO -L-E

Zoning

ZC 5 LTO-C RTO-L-E 8.11 Acres Morgan Boulevard LU 1, LU 2, LU 6, LU 8, EP 6, HN 11, HN 12, HC 13, PF 16

Future

Land Use

201NE07, 201SE07

Mixed Use

Does the rezoning create nonconformance? No

Justification: The proximity to the Morgan Boulevard Metro Station and its potential as a mixed-use, amenity-rich economic generator for the County makes these properties appropriate for this high intensity, transit-supportive zone.

This rezoning advances Policies LU 6 and HN 11 which envision mixed-use development that integrates residential, commercial, and community resources at a density that supports transit use and access. This rezoning is necessary due to the upgraded Growth Policy designation from a local center to a regional district.

Tax Accounts

2034700, 2034692, 2071413

Zoning Change 6 (ZC 6): LTO-C to RTO -L-C

Zoning Change No

ZC 6 LTO-C RTO-L-C 35.94 Acres Morgan Boulevard LU 1, LU 2, LU 6, LU 8, EP 6, HN 11, HN 12, HC 13, PF 16

Future Land Use

201NE07, 201SE07

Mixed Use

Does the rezoning create nonconformance? No

Justification: The potential of these WMATA owned properties as a mixed-use, amenity-rich economic generator for the County makes them appropriate for this high intensity, permissive zone.

Sector plan Policies LU 6 and HN 11 envision mixed-use development that integrates residential, commercial, and community resources at a density that supports transit use and access. The RTO-L-C Zone enables a character of development that fits in this context. This rezoning is necessary due to the upgraded Growth Policy designation from a local center to a regional district.

Tax Accounts 2084085, 3377041, 3434446, 3428463, 2035038, 3513280

Zoning Change 7 (ZC 7): RR to RTO-L-E

Zoning Change No

ZC 7 RR RTO-L-E 0.47 Acres Morgan Boulevard LU 1, LU 2, LU 6, LU 8, EP 6, HN 11, HN 12, HC 13, PF 16

Future

Land Use

201NE08, 201SE08

Mixed Use

Does the rezoning create nonconformance? No

Justification: The transit district boundary shall be extended to include this property and permit rezoning to the RTO-L-E Zone from the RR Zone.

The plan recommends rezoning to support transit-oriented development and to provide a transition from the RTO-L-C Zone to the single-family zones adjacent to it. Sector plan Policies LU 6 and HN 11 envision mixed-use development that integrates residential, commercial, and community resources at a density that supports transit use and access. The current zone, RR, which primarily supports rural development cannot implement these policies.

Zoning Change 8 (ZC 8): IE to RTO-L-E

Zoning Change No

ZC 8 IE RTO-L-E 1.26 Acres Morgan Boulevard LU 1, LU 2, LU 6, LU 8, EP 6, HN 11, HN 12, HC 13, PF 16

Future Land Use

201NE08, 201SE08

Mixed Use

Does the rezoning create nonconformance? No

Justification: The transit boundary shall be extended to include this property and permit rezoning to the RTO-L-E Zone from the RR Zone.

The plan recommends rezoning to support transit-oriented development and to provide a transition from the RTO-L-C Zone to the single-family zones adjacent to it. Sector plan Policies LU 6 and HN 11 envision mixed-use development that integrates residential, commercial, and community resources at a density that supports transit use and access. The current zone, IE, which primarily supports industrial uses cannot implement these policies.

Zoning Change 9 (ZC 9): CGO to RTO-L-E

9

Future Land Use

LU 1, LU 2, LU 6, LU 8, EP 6, HN 11, HN 12, HC 13, PF 16

Mixed Use

Does the rezoning create nonconformance? Yes

Justification: The transit district boundary shall be extended to include this property and permit rezoning to the RTO-L-E Zone from the CGO Zone.

Under the proposed RTO-L-E zone, the existing single-family detached residential dwelling will become nonconforming. This nonconformance advances sector plan Policies LU 6 and HN 11 that envision mixed-use development that integrates residential, commercial, and community resources at a density that supports transit use and access.

Tax Accounts

2073336

Zoning Change 10 (ZC 10): RSF-95 to RTO-L-E

Zoning Change No

ZC 10 RSF-95 RTO-L-E 1.44 Acres Morgan Boulevard LU 1, LU 2, LU 6, LU 8, EP 6, HN 11, HN 12, HC 13, PF 16 201NE07

Future Land Use

Mixed Use

Does the rezoning create nonconformance? No

Justification: The proximity to the Morgan Boulevard Metro Station and its potential as a mixed-use, amenity-rich economic generator for the County makes these properties appropriate for this high intensity, transit-supportive zone.

Sector plan Policies LU 6 and HN 11 envision mixed-use development that integrates residential, commercial, and community resources at a density that supports transit use and access. The RTO-L-E Zone enables a character of development that fits in this context. The current zone, RSF-95, which primarily supports single-family homes cannot implement these policies.

Zoning Change 11 (ZC 11): RSF-95 to RTO-L-E

Zoning Change No

ZC 11 RSF-95 RTO-L-E 0.15 Acres Morgan Boulevard LU 1, LU 2, LU 6, LU 8, EP 6, HN 11, HN 12, HC 13, PF 16

Future Land Use

Mixed Use

Does the rezoning create nonconformance? No

Justification: The proximity to the Morgan Boulevard Metro Station and its potential as a mixed-use, amenity-rich economic generator for the County makes the property appropriate for this high intensity, transit-supportive zone.

Sector plan Policies LU 12, LU 13 and HN 14 envision mixed-use development that integrates residential, commercial, and community resources at a density that supports transit use and access. The RTO-L-E Zone enables a character of development that fits in this context. The current zone, RSF95, which primarily supports single-family homes cannot implement these policies.

201NE07

Zoning Change 12 (ZC 12): ROS, LTO-E to RTO-L-E

ZC 12

Future Land Use

Acres Morgan Boulevard LU 1, LU 2, LU 6, LU 8, EP 6, HN 11, HN 12, HC 13, PF 16

Mixed Use

Does the rezoning create nonconformance? No

Justification: The proximity to the Morgan Boulevard Metro Station and its potential as a mixed-use, amenity-rich economic generator for the County makes the property appropriate for this high intensity, transit-supportive zone.

Sector plan Policies LU 12, LU 13 and HN 14 envision mixed-use development that integrates residential, commercial, and community resources at a density that supports transit use and access. The RTO-L-E Zone enables a character of development that fits in this context.

Tax Accounts 2063790, 2063808, 2063816

Zoning Change 13 (ZC 13): LTO-C to RTO-L-E

Zoning Change No

ZC 13 LTO-C RTO-L-E 75.14 Acres Morgan Boulevard LU 1, LU 2, LU 6, LU 8, EP 6, HN 11, HN 12, HC 13, PF 16

Future Land Use

Mixed Use

Does the rezoning create nonconformance? No

Justification: The proximity to the Morgan Boulevard Metro Station and its potential as a mixed-use, amenity-rich economic generator for the County makes these properties appropriate for this high intensity, transit-supportive zone.

Sector plan Policies LU 6 and HN 11 envision mixed-use development that integrates residential, commercial, and community resources at a density that supports transit use and access. The RTO-L-E Zone enables a character of development that fits in this context. This rezoning is necessary due to the upgraded Growth Policy designation from a local center to a regional district.

Tax Accounts

3738978, 3741204, 3739299, 3739745, 3808649, 3738994, 3740644, 3740123, 3739687, 3740594, 3739315, 3740065, 3739471, 3737848, 3738473, 3739679, 3741279, 3739802, 3741071, 3737632, 3739000, 3737624, 3737558, 3737020, 3738325, 3738796, 3737285, 3737988, 3740875, 3741014, 3739059, 3737103, 3737392, 3737871, 3738036, 3737293, 3737129, 3738002, 3739794, 3738887, 3740156, 3738986, 3740586, 3738838, 3738143, 3739224, 3738564, 3740149, 3740834, 3739968, 3740115, 3738440, 3738630, 3738317, 3739570, 3740735, 3738028, 3740537, 3737418, 3740719, 3737665, 3739125, 3740032, 3738861, 3740693, 3737566, 3737178, 3738580, 3737962, 3737947, 3737012, 3737426, 3739729, 3740685, 3739877, 3740263, 3740347, 3739976, 3740636, 3738044, 3738952, 3740214, 3723970, 3740933, 3736998, 3738424, 3740982, 3738804, 3739828, 3737475, 3741063, 3739042, 3737434, 3739844, 3739240, 3739620, 3738606, 3739364, 3738416, 3740305, 3740271, 3740222, 3739927, 3737913, 3740446, 3740206, 3740727, 3740909, 3737608, 3737715, 3740313, 3740529, 3740255, 3739331, 3738622, 3740388, 3738432, 3737145, 3737491, 3737921, 3739166, 3741261, 3737780, 3738531, 3740511, 3738697, 3740289, 3738499, 3739893, 3738614, 3739919, 3740925, 3740420, 3739190, 3738069, 3738366, 3739414, 3737525, 3739885, 3739539, 3739596, 3740057, 3738135, 3737681, 3738937, 3738481, 3737327, 3739430, 3737905, 3740628, 3737970, 3737483, 3739026, 3741212, 3738358, 3739174, 3740164, 3739588, 3739521, 3739505, 3737673, 3737541, 3739109, 3739786, 3739273, 3739703, 3740677, 3738879, 3741006, 3739737, 3737889, 3740990, 3739513, 3739463, 3737657, 3737806, 3739653, 3738051, 3740412, 3741238, 3738788, 3741113, 3740917, 3738713, 3737137, 3740131, 3740883, 3737509, 3739554, 3739760, 3739935, 3737749, 3740040, 3737384, 3737053, 3737301, 3739307, 3739349, 3737251, 3737368, 3740396, 3739497, 3738390, 3737731, 3737046, 3740404, 3740016, 3738168, 3737038, 3738523, 3737194, 3738663, 3739547, 3738812, 3738457, 3738820, 3739646, 3740891, 3740321, 3738721, 3737517, 3737590, 3739034, 3739257, 3737087, 3738119, 3741170, 3737939, 2001089, 3741220, 3740578, 3740859, 3740438, 3738465, 3739943, 3739133, 3739232, 3740503, 3737152, 3737343, 3740495, 3737574, 3741246, 3738184, 3739141, 3738242, 3739281, 3738705, 3739356, 3741162, 3740602, 3738382, 3737723, 3739380, 3737764, 3741030, 3738127, 3738234, 3738762, 3737798, 3738077, 3740958, 3738275, 3737467, 3737640, 3740552, 3739711, 3738689, 3739869, 3738093, 3737236, 3737863, 3737160, 3738770, 3737277, 3736980, 3740180, 3739638, 3739398, 3737707, 3737269, 3737376, 3737756, 3741121, 3737079, 3737996, 3737442, 3739851, 3739901, 3737202,

201NE07

3740651, 3740248, 3738598, 3738283, 3737616, 3739984, 3738739, 3738655, 3739836, 3738549, 3740842, 3737186, 3738754, 3741048, 3741105, 3739018, 3737335, 3738671, 3741055, 3740461, 3739208, 3737228, 3739216, 3737400, 3740743, 3737210, 3739182, 3739372, 3741147, 3737855, 3739661, 3738200, 3738895, 3740974, 3740073, 3740099, 3740198, 3740008, 3737830, 3741188, 3738556, 3737244, 3739752, 3740172, 3738903, 3737350, 3740560, 3740966, 3739083, 3739067, 3741089, 3740339, 3741196, 3738176, 3740230, 3740701, 3740081, 3737061, 3738929, 3741154, 3738309, 3738911, 3738218, 3740297, 3738572, 3739612, 3737699, 3740867, 3737095, 3739778, 3737954, 3741253, 3738010, 3739265, 3737533, 3738333, 3739406, 3737814, 3738648, 3740362, 3740370, 3740107, 3740487, 3739158, 3740941, 3739992, 3738267, 3738226, 3737897, 3740669, 3738945, 3738853, 3737004, 3740453, 3740610, 3739323, 3741139, 3738341, 3738374, 3740354, 3736972, 3738101, 3738515, 3739455, 3739075, 3737822, 3740479, 3739604, 3739422, 3738507, 3738408, 3738960, 3739448, 3741022, 3739489, 3740024, 3738259, 3739562, 3738192, 3738085, 3739117, 3738150, 3737111, 3737772, 3738747, 3739810, 3739695, 3737319, 3713401, 3738846, 5515953, 5515964, 5515975, 5515986, 5515997, 5516002, 5521225, 5516013, 3737582, 3741097, 3738291, 3737459, 3513298, 3740545, 3739950, 5642191, 5642203, 5642214, 5642225, 5642236, 5642247, 5642258, 5642260, 5642271, 5642282, 5642293, 5642305, 5642316, 5642327, 5642338, 5642340, 5642351, 5642362, 5642373, 5642750, 5642761, 5642772, 5642384, 5642395, 5642418, 5642420, 5642431, 5642442, 5642453, 5642464, 5642475, 5642486, 5642497, 5642500, 5642511, 5642522, 5642533, 5642544, 5642555, 5642566, 5642577, 5642588, 5642590, 5642602, 5642613, 5642624, 5642635, 5642646, 5642657, 5642668, 5642670, 5642681, 5642692, 5642704, 5642715, 5642726, 5642737, 5642748

Zoning Change 14 (ZC 14): LTO-E to RTO-L-E

ZC 14

Future

Land Use

Acres Morgan Boulevard LU 1, LU 2, LU 6, LU 8, EP 6, HN 11, HN 12, HC 13, PF 16 202NE08

Mixed Use

Does the rezoning create nonconformance? No

Justification: The proximity to the Morgan Boulevard Metro Station and its potential as a mixed-use, amenity-rich economic generator for the County makes these properties appropriate for this high intensity, transit-supportive zone.

Sector plan Policies LU 6 and HN 11 envision mixed-use development that integrates residential, commercial, and community resources at a density that supports transit use and access. The RTO-L-E Zone enables a character of development that fits in this context. This rezoning is necessary due to the upgraded Growth Policy designation from a local center to a regional district.

Tax Accounts

2748457, 2748465, 2819902, 2748440, 3683059, 2748432, 2811289, 2748424, 2748408

Capitol Heights Local Transit Center

Map 6. Existing Zoning
Map 7. Proposed Zoning

Table 5. Capitol Heights Zoning Changes

ZC 15

ZC 16

ZC 17

ZC 18

ZC 19

RSF-A to LTO-C 1.36 Acres

RSF-65 to LTO-C 0.06 Acres

RSF-65 to LTO-C 0.03 Acres

RSF-65 to LTO-E 14.78 Acres

RSF-65 to RSF-A 4.85 Acres

ZC 20 LTO-C to ROS 1.31 Acres

ZC 21

RSF-65 to LTO-E 0.13 Acres

ZC 22 RSF-65 to RSF-A 9.71 Acres

ZC 23

ZC 24

ZC 25

ZC 26

ZC 27

RSF-A to LTO-E 6.02 Acres

RSF-65 to LTO-E 0.99 Acres

RSF-65 to LTO-E 2.69 Acres

RSF-A to LTO-E 0.99 Acres

RSF-65 to CN 2.26 Acres

ZC 28 RSF-A to CN 8.79 Acres

Zoning Change 15 (ZC 15): RSF-A to LTO-C

Zoning Change No

ZC 15 RSF-A LTO-C 1.36 Acres Capitol Heights LU 1, LU 2, LU 6, LU 9, HN 11, HN 13 201NE05

Future Land Use

Mixed Use

Does the rezoning create nonconformance? Yes

Justification: The plan recommends rezoning to the LTO-C Zone to incentivize business development and allow more people to live and work near transit

Under the proposed LTO-C Zone, the existing two-family residential dwellings will become nonconforming. The creation of these nonconforming uses advances the vision of the plan. This rezoning implements Policies LU 6 and LU 9 by providing an opportunity for transit-oriented development at the greatest scale near the Capitol Heights Metro Station. This rezoning also advances Policy HN 13 by allowing for dense multifamily development here. The current zone, RSF-A, which primarily supports townhouses and two-three family homes cannot implement these policies.

Tax Accounts

1994649, 1994656, 2014132, 2118347, 2039451, 2050508, 2008951, 2064715, 2066967, 1999481, 2066991, 2066983, 2066975

Zoning Change 16 (ZC 16): RSF-65 to LTO-C

Zoning Change No

ZC 16 RSF-65 LTO-C 0.06 Acres Capitol Heights LU 1, LU 2, LU 6, LU 9, HN 11, HN 13

Future Land Use

201NE05

Mixed Use

Does the rezoning create nonconformance? No

Justification: The plan recommends rezoning to the LTO-C Zone to incentivize business development and allow people to live and work near transit.

This reclassification implements Policies LU 6 and LU 9 by providing significant opportunity for transitoriented development at the greatest scale near the Capitol Heights Metro Station. This rezoning also advances Policy HN 13 by allowing for dense multifamily development here. The current zone, RSF-65, which primarily supports single-family homes cannot implement these policies.

Tax Accounts 1994664

Zoning Change 17 (ZC 17): RSF-65 to LTO-C

Zoning Change No

ZC 17 RSF-65 LTO-C 0.03 Acres Capitol Heights LU 1, LU 2, LU 6, LU 9, HN 11, HN 13 201NE05

Future Land Use

Mixed Use

Does the rezoning create nonconformance? No

Justification: This property is within the Capitol Heights Center and contains Watts Branch, a tributary of the Anacostia River

Rezoning to the LTO-C Zone to bring this property into alignment with the zoning of the abutting property and to permit the desired Future Land Use. This property is a small sliver adjacent to a large swath of LTO-C Zoning and this rezoning enhances uniformity in this area.

Tax Accounts

2035160

Zoning Change 18 (ZC 18): RSF-65 to LTO-E

Zoning Change No

ZC 18 RSF-65 LTO-E 14.78 Acres Capitol Heights LU 1, LU 2, LU 6, LU 9, HN 11, HN 13

Future Land Use

201NE05, 201SE05

Mixed Use

Does the rezoning create nonconformance? Yes

Justification: The plan recommends rezoning to the LTO-E Zone to support transit-oriented development and to provide a gentle transition from the more intense LTO-C Zone to the single-family zones adjacent to it.

Under the proposed LTO-E Zone, existing single-family detached residential dwellings will become nonconforming. The creation of these nonconforming uses advances the vision of the plan. This rezoning implements Policies LU 6 and LU 9 by providing an opportunity for transit-oriented development at the greatest scale near the Capitol Heights Metro Station. This rezoning also advances Policy HN 13 by allowing for dense multifamily development here. The current zone, RSF-65, which primarily supports single-family homes cannot implement these policies.

Tax Accounts

1997790, 2010387, 2095230, 2017333, 1995307, 2067965, 2838670, 2047926, 2070654, 2083525, 2013472, 1984848, 2065530, 2059863, 3247244, 2075885, 2021368, 1984426, 2099059, 1991801, 2077048, 1989391, 2068633, 3741568, 2100055, 2099398, 2024065, 2107696, 2006419, 1990605, 2114775, 2114783, 2036515, 2117356, 2016749, 2104891, 2083715, 2084945, 2064285, 1999275, 2053809, 2017119, 2017143, 2017135, 2112753, 2088730, 2080885, 1993179, 2119428, 2088722, 1990910, 2022960, 1992882, 2039360, 2032274, 2088995, 2013746, 2093961, 1988732, 2118354, 1987106, 2112761, 1991256, 2088904, 2095099, 2036713, 2023950, 2001444, 2082386, 2047231, 2046415, 2060119, 2084234, 2014660, 2061596, 2047413, 2065662, 2064350, 3144383, 2046829, 2122174, 2096485, 2061109, 2105575, 1984640, 2104842, 2104834

Zoning Change 19 (ZC 19): RSF-65 to RSF-A

Zoning Change No

ZC 19 RSF-65 RSF-A 4.85 Acres Capitol Heights LU 9, HN 13, HD 6 201SE05

Future Land Use

Residential Medium-High

Does the rezoning create nonconformance? No

Justification: This area is being rezoned to a more permissive, primarily residential zone, to increase the variety of housing types and to complement the expansion of the LTO-E Zone

This rezoning creates opportunities for a seamless transition from the more intense TOD development associated with the LTO-E Zone to the surrounding low-density residential zones outside the center. This reclassification directly supports Policies LU 9 and HN 13 by providing an area for medium-high density residential development, The current zone, RSF-65, which primarily supports single-family detached homes cannot implement these policies.

Tax Accounts

2094266, 1990258, 2092344, 2080877, 2060648, 2005627, 2075869, 2093755, 2065886, 2017093, 2096618, 2088987, 2006534, 2038586, 2113140, 2053353, 2011823, 2122059, 2113975, 1984467, 1984459

Zoning Change 20 (ZC 20): LTO-C to ROS

Zoning Change No

ZC 20 LTO-C ROS 1.31 Acres Capitol Heights LU 10, NE 11, PF 16 201SE05

Future Land Use Parks and Open Space

Does the rezoning create nonconformance? No

Justification: These properties are undeveloped, owned by the Town of Capitol Heights, and include channelized portions of an unnamed tributary to Watts Branch. Preserving these properties as open space protects a sensitive natural feature in the area and supports the creation of the Capitol Heights Greenway, a linear park that facilitates community gathering and healthy lifestyles.

This reclassification implements Policies LU 10 and NE 11 which recommend the renaturalization of the channelized stream. The development of a greenway is better suited for the ROS Zone than the LTO-C Zone which is geared towards more intense development.

Accounts

Zoning Change 21 (ZC 21): RSF-65 to LTO-E

Zoning Change No

ZC 21 RSF-65 LTO-E 0.13 Acres Capitol Heights LU 1, LU 2, LU 6, LU 9, HN 11, HN 13 201SE05

Future Land Use

Mixed Use

Does the rezoning create nonconformance? Yes

Justification: The plan recommends rezoning to the LTO-E Zone to support transit-oriented development and to provide a gentle transition from the more intense LTO-C Zone to the single-family zones adjacent to it.

Under the proposed LTO-E Zone, the existing single-family detached residential dwelling will become nonconforming. The creation of the nonconforming use advances the vision of the plan. Specifically, this rezoning implements Policies LU 6 and LU 9 by providing an opportunity for transit-oriented Development at the greatest scale near the Capitol Heights Metro Station. This rezoning also advances Policy HN 13 by allowing for dense multifamily development here. The current zone, RSF-65, which primarily supports single-family homes cannot implement these policies.

Tax Accounts

2095180

Zoning Change 22 (ZC 22): RSF-65 to RSF-A

Zoning Change No

ZC 22 RSF-65 RSF-A 9.71 Acres Capitol Heights LU 9, HN 13, HD 6

Future Land Use

Residential Medium-High

Does the rezoning create nonconformance? No

Justification: This area is being rezoned to a more permissive, primarily residential zone to increase housing choice and to seamlessly transition from the more intense development near the Capitol Heights Metro Station and the lower intensity single-family residences outside of the center

The rezoning supports the plan’s vision by permitting the development of townhouses and two-to-three family dwellings, adding a variety of dwelling unit types to the area. This reclassification directly supports Policies LU 9 and HN 13 by providing an area for context-sensitive medium intensity zoning to transition from TOD areas to single-family zones. The current zone, RSF-65, which primarily supports single-family homes cannot implement these policies.

Tax Accounts

2000909, 1991314, 2015246, 2106300, 2113785, 2057016, 2064418, 2066165, 2066157, 2122018, 2056232, 2008985, 2094324, 2015378, 2000925, 2080562, 2063030, 2098523, 2038974, 2084796, 2000867, 2099364, 2083442, 1997782, 2056877, 2079457, 2096725, 1997634, 2070753, 2045755, 2060929, 2060937, 2005031, 2000339, 2072007, 2083673, 2007854, 2015865, 2104826, 2000933, 2097434, 2104016, 2841120, 2859155, 2000941, 2033322, 2000743, 2812592, 2000750, 2999795, 2034858, 2122117, 2051175, 2044618, 2039766, 1990803, 1993591, 2119337, 2043909, 1984871, 2077451, 2093250, 1991207, 2070902, 2082931, 2022622, 2021855, 2097392, 2019032, 2000891, 2056711

Zoning Change 23 (ZC 23): RSF-A to LTO-E

Zoning Change No

ZC 23 RSF-A LTO-E 6.02 Acres Capitol Heights LU 1, LU 2, LU 6, LU 9, HN 11, HN 13 201SE05

Future Land Use

Mixed Use

Does the rezoning create nonconformance? Yes

Justification: The sector plan recommends rezoning to the LTO-E Zone to support transit-oriented development and to provide a gentle transition from the more intense LTO-C Zone to the single-family zones adjacent to it.

Under the proposed LTO-E zone, existing single-family detached residential dwellings will become nonconforming. The creation of these nonconforming use advances the vision of the plan. This rezoning implements Policies LU 6 and LU 9 by providing an opportunity for transit-oriented development at the greatest scale near the Capitol Heights Metro Station. This rezoning also advances Policy HN 11 by allowing for dense multifamily development here. The current zone, RSF-A, which primarily supports townhouses and two-three family homes cannot implement these policies.

Tax Accounts

2032761, 2032753, 2023570, 2117240, 1990423, 2032308, 2060101, 2054880, 2115558, 2083616, 2100386, 2112506, 2105971, 2056588, 2094381, 1998772, 1987296, 2036457, 2039295, 2093052, 2034460, 2067767, 2056570, 2047140, 2089225, 2097897, 2095156, 1991421, 2080141, 2010643, 2068195, 2035780, 2010403, 2038651, 2111573, 2014769, 2050334, 2022010, 2045300, 2011682, 1994201, 2092559, 2033694, 2092740, 2110005, 2110013, 2018646

Zoning Change 24 (ZC 24): RSF-65 to LTO-E

Zoning Change No

ZC 24

Future Land Use

Mixed Use

Does the rezoning create nonconformance? No

Justification: The properties are within the Old Central Avenue Neighborhood Retail Focus Area A Neighborhood Retail Focus Area is intended to support a smaller scale, neighborhood serving retail environment.

This rezoning advances Policy EP 8 by allowing for small-scale mixed-use redevelopment to create a commercial district. It also implements Policy LU 11 which calls for a variety of uses on these properties. The current zone, RSF-65, which primarily supports single-family homes cannot implement these policies.

Tax Accounts

2000966, 2063253, 2048858, 2012532, 5697175, 5697186, 5697197, 5697200, 5697211, 5697222, 1998046, 5697142, 5697153, 5697164

Zoning Change 25 (ZC 25): RSF-65 to LTO-E

Zoning Change No

ZC 25 RSF-65 LTO-E 2.69 Acres Capitol Heights LU 1, LU 2, LU 6, LU 11, EP 8, HN 13

Future Land Use

Mixed Use

Does the rezoning create nonconformance? Yes

Justification: These properties are within the Old Central Avenue Neighborhood Retail Focus Area The plan recommends rezoning to the LTO-E Zone to support transit-oriented development and to provide a gentle transition to the single-family zones adjacent to it.

Under the proposed LTO-E Zone, existing single-family detached residential dwellings will become nonconforming. This advances the vision of the plan. This reclassification implements Policy LU 11 which calls for the development of a walkable shopping and dining area along this corridor. Additionally, this rezoning advances Policy EP 8 by allowing for small-scale mixed-use redevelopment. The current zone, RSF-65, which primarily supports single-family homes cannot implement these policies or the intended future land use.

Tax Accounts

2110542, 2038263, 2037778, 2016855, 2077600, 1992353, 1992346, 2000800, 2082535, 2000792

Zoning Change 26 (ZC 26): RSF-A to LTO-E

ZC 26 RSF-A LTO-E 0.99 Acres Capitol Heights LU 1, LU 2, LU 6, LU 11, EP 8, HN 13

Future Land Use

Mixed Use

Does the rezoning create nonconformance? Yes

Justification: The properties are within the Old Central Avenue Neighborhood Retail Focus Area The plan recommends rezoning to the LTO-E Zone to support transit-oriented development and to provide a gentle transition to the single-family zones adjacent to it.

Under the proposed LTO-E Zone, existing single-family detached residential dwellings will become nonconforming. This advances the vision of the plan. This reclassification implements Policy LU 11 which calls for the development of a walkable shopping and dining area along this corridor. Additionally, this rezoning advances Policy EP 8 by allowing for small-scale mixed-use redevelopment. The current zone, RSF-65, which primarily supports townhouses and two-three family homes cannot implement these policies.

Tax Accounts

2068427, 2003333, 2080166, 2038453, 2045508, 2000859

Zoning Change 27 (ZC 27): RSF-65 to CN Zoning Change No

ZC 27 RSF-65 CN 2.26 Acres Capitol Heights LU 11, EP 8, HN 14 201SE05

Future Land Use Commercial

Does the rezoning create nonconformance? No

Justification: The properties are within the Old Central Avenue Neighborhood Retail Focus Area The plan recommends rezoning to the CN Zone to support the adjacent LTO-E zoning in the Capitol Heights and Addison Road-Seat Pleasant Centers, to allow for commercial development to front the CACT, and to create opportunities for higher densities on vacant properties here.

Rezoning this property will ensure that the desired Commercial land use can be achieved. This rezoning advances Policy LU 11 by enabling the development of a walkable shopping and dining area along this corridor. Additionally, this rezoning works to achieve Policy EP 8 by allowing small-scale mixed-use redevelopment, the character of which wouldn’t be achieved by the RSF-65 Zone and its associated uses.

Tax Accounts

2081347, 2076487, 1993443, 2015568, 2011617, 2063063, 2055952, 2055960, 2034379, 1992015, 2095149, 2005403, 2005395, 2036119, 2114767, 2105906

Zoning Change 28 (ZC 28): RSF-A to CN

ZC 28 RSF-A CN 8.79 Acres Capitol Heights LU 11, EP 8, HN 14 201SE05

Future Land Use Commercial

Does the rezoning create nonconformance? No

Justification: The properties are within the Old Central Avenue Neighborhood Retail Focus Area The plan recommends rezoning to the CN Zone to support the adjacent LTO-E zoning in the Capitol Heights and Addison Road-Seat Pleasant Centers, to allow for commercial development to front the CACT, and to create opportunities for higher densities on vacant properties here.

Rezoning this property will ensure that the desired Commercial land use can be achieved. This reclassification implements Policy LU 11 which calls for the development of a walkable shopping and dining area along this corridor. Additionally, this rezoning advances Policy EP 8 by allowing for smallscale mixed-use redevelopment, the character of which wouldn’t be achieved by the RSF-A Zone and its associated uses.

Tax Accounts

2106235, 2049377, 2016954, 2016939, 2016962, 2066082, 2066108, 1994524, 2100824, 2066090, 2119386, 2032340, 2007763, 2061307, 1993765, 1993773, 2114536, 2064939, 2024297, 1997410, 2092914, 2044139

Addison Road-Seat Pleasant Local Transit Center

8. Existing Zoning

Map 9. Proposed Zoning

Map

Table 6. Addison Road-Seat Pleasant Zoning Changes

ZC 29 RR to CN 0.80 Acres

ZC 30 RSF-A to CN 2.91 Acres

ZC 31 RSF-A to LTO-E 0.87 Acres

ZC 32 RSF-65 to RSF-A 0.50 Acres

ZC 33 RSF-A to LTO-E 7.72 Acres

ZC 34 AG to ROS 1.02 Acres

ZC 35 RSF-65 to LTO-E 30.51 Acres

ZC 36 RSF-A, RSF-65 to LTO-E 6.98 Acres

ZC 37 RSF-A to LTO-E 9.85 Acres

ZC 38 RSF-65 to LTO-E 23.30 Acres

ZC 39 LTO-E to LTO-C 34.61 Acres

ZC 40 CGO to LTO-E 0.66 Acres

ZC 41 RSF-A to LTO-E 2.71 Acres

ZC 42 CS to LTO-E 0.68 Acres

ZC 43 RSF-65 to LTO-E 1.44 Acres

Zoning Change 29 (ZC 29): RR to CN

ZC 29 RR CN 0.80 Acres Addison Road-Seat Pleasant LU 2, LU 6, EP 1, EP 9 201SE05, 201SE06

Future Land Use

Commercial

Does the rezoning create nonconformance? No

Justification: The plan recommends rezoning to the CN Zone to support the adjacent LTO-E zoning in the Capitol Heights and Addison Road-Seat Pleasant Centers, to allow for commercial development to front the CACT, and to create opportunities for higher densities on vacant properties here.

Rezoning this property will ensure that the desired Commercial land use can be achieved. This rezoning advances Policy EP 9 by enabling the development of a small-scale retail and service commercial space that is convenient, accessible, pedestrian-friendly, and neighborhood-scale. The character of which wouldn’t be achieved by the RR Zone and its associated uses.

Tax Accounts 2012177

Zoning Change 30 (ZC 30): RSF-A to CN

ZC 30 RSF-A CN 2.91 Acres Addison Road-Seat Pleasant LU 2, LU 6, EP 1, EP 9 201SE05 201SE06

Future Land Use

Commercial

Does the rezoning create nonconformance? No

Justification: The plan recommends rezoning to the CN Zone to support the adjacent LTO-E zoning in the Capitol Heights and Addison Road-Seat Pleasant Centers, to allow for commercial development to front the CACT, and to create opportunities for higher densities on vacant properties here.

This rezoning advances Policy EP 9 by enabling the development of a small-scale retail and service commercial space that is convenient, accessible, pedestrian-friendly, and neighborhood-scale. The character of which wouldn’t be achieved by the RSF-A Zone and its associated uses.

Accounts

Zoning Change 31 (ZC 31): RSF-A to LTO-E

Zoning Change No

ZC 31 RSF-A LTO-E 0.87 Acres

Future Land Use

Mixed Use

Does the rezoning create nonconformance? No

Justification: The plan recommends rezoning to the LTO-E Zone to support transit-oriented development and to provide a gentle transition from the more intense LTO-C Zone to the single-family zones adjacent to it.

This rezoning implements Policy LU 13 and Policy HN 15 by providing space for high-density mixed-use and multi-unit housing development near the Addison Road-Seat Pleasant Metro Station. The current zone, RSF-A, which primarily supports townhouses and two-three family homes cannot implement these policies.

Tax Accounts 2072692, 2072627, 2072635, 2072213

Zoning Change 32 (ZC 32): RSF-65 to RSF-A

Zoning Change

ZC 32

Future Land Use

Residential Medium-High

Does the rezoning create nonconformance? No

Justification: This area is being rezoned to a more permissive residential zone to create opportunities for more housing choices. This reclassification directly advances Policy HN 11 by providing land that could be developed into duplexes, mid-rise buildings and other diverse housing types of transitional densities.

The surrounding context of these properties also makes them appropriate for rezoning, they are in proximity to MD 214 and are adjoined by properties that are already zoned RSF-A. The current zone, RSF-65, which primarily supports single-family homes, cannot implement the plan’s vision here.

Tax Accounts

2072270, 2072262, 2072254, 2108934

Zoning Change 33 (ZC 33): RSF-A to LTO-E

Zoning Change No

ZC 33 RSF-A LTO-E 7.72 Acres Addison Road-Seat Pleasant LU 1, LU 2, LU 6, LU 13, HN 1, HN 2, HN 15

Future Land Use

201SE05, 201SE06

Mixed Use

Does the rezoning create nonconformance? No

Justification: The plan recommends rezoning to the LTO-E Zone to support transit-oriented development and to provide a gentle transition from the more intense LTO-C Zone to the single-family zones adjacent to it.

This rezoning implements Policy LU 13 and Policy HN 15 by providing space for high-density mixed-use and multi-unit housing development near the Addison Road-Seat Pleasant Metro Station. The current zone, RSF-A, which primarily supports townhouses and two-three family homes cannot implement these policies.

Tax

Accounts 2016004, 2105161, 2105153, 2105146, 2105138, 2095784, 2095743, 2095735, 2094621, 2044394, 2044386, 2082709, 2033280, 2083079, 2041614, 2024230, 2095776, 2095768, 2109361, 2109379, 2109387, 2109395, 2109403, 2109353, 2094613, 2094589, 2094571, 2094597, 2095750, 2094605, 2095800, 2095792, 2007706, 2054914, 2095818, 2007730, 2081024

Zoning Change 34 (ZC 34): AG to ROS

ZC 34 AG ROS 1.02 Acres Addison Road-Seat Pleasant TM 5 201NE05, 201SE05, 201SE06, 201NE06

Future Land Use

Parks and Open Space

Does the rezoning create nonconformance? No

Justification: This property is owned by the City of Seat Pleasant and contains the constructed segment of the Central Avenue Connector Trail. Rezoning this property to ROS will retain this devoted recreational and transportation use in perpetuity.

The rezoning of this property advances Policy TM 5 by preserving the space as the existing portion of the CACT. The current zone, AG, cannot advance these policies to the same extent.

Tax Accounts

2015998

Zoning Change 35 (ZC 35): RSF-65 to LTO-E Zoning

ZC 35 RSF-65 LTO-E 30.51

Future Land Use

Addison Road-Seat Pleasant LU 1, LU 2, LU 6, LU 13, HN 1, HN 2, HN 15 201SE06

Mixed Use

Does the rezoning create nonconformance? Yes

Justification: These properties are zoned RSF-65, a primarily single-family residential zone that does not permit higher density residential uses Rezoning the properties to LTO-E will align this to the proposed Redevelopment Authority Addison Park development (approved application PPS-2023-024 and DET-2023-011), which is allowed to proceed up to LTO-C Zone standards pursuant to 27-1408 of the Zoning Ordinance. Generally, LTO-C is applied to properties within ¼ mile of a Metro station entrance, due to these properties’ distance from the station and location along MD 332 (Old Central Avenue) and orientation away from the Addison Road-Seat Pleasant Metro Station itself, the LTO-E Zone is more contextually appropriate here and is complementary to the properties abutting this zoning change.

The Addison Park project proposes 293 multifamily dwelling units for the elderly and 29,572 square feet of commercial and institutional uses on the properties, advancing the plan’s goals for a mix of uses and providing housing options to seniors.

To complement this changing form and scale, the RSF-65 Zoned properties lining Zelma Avenue are rezoned to LTO-E. Under the proposed LTO-E Zone, these existing single-family detached residential dwellings will become nonconforming. The creation of this nonconformance advances the recommendation of Policy HN 11 by permitting higher density multifamily dwellings and community supporting amenities and retail.

Tax Accounts

2084101, 1992171, 1992403, 2048049, 1997543, 1997550, 2078012, 2033561, 1997535, 2056992, 2067627, 2021210, 1992668, 1992684, 1992627, 2071975, 2072429, 2057040, 2062073, 2062081, 2062040, 2062057, 2062065, 2104032, 2980019, 1997923, 1997931, 2099372, 2068005, 2041887, 2036960, 2100899, 2014462, 2114593, 2084200, 2098358, 2066322, 2078996, 2079002, 2079010, 2004976, 1991058, 2051050, 2051035, 1998863, 2050581, 2039279, 2079036, 2079028, 2077980, 2117927, 2077303, 1986595, 2118289, 2072031, 2056117, 2065456, 2014884, 2084929, 2010361, 2064731, 2035442, 2056067, 2093060, 2009405, 2009256, 2082238, 2006740, 2110559, 2058006, 2058121, 2075679, 2093995, 2038156, 2098101, 2081263, 2083038, 2118115, 2061455

Zoning Change 36 (ZC 36): RSF-A, RSF-65 to LTO-E

Zoning Change No

ZC 36 RSF-A, RSF65 LTO-E 6.98 Acres Addison Road-Seat Pleasant LU 1, LU 2, LU 6, LU 13, HN 1, HN 2, HN 15

Future Land Use

201SE06

Mixed Use

Does the rezoning create nonconformance? No

Justification: The plan recommends rezoning to the LTO-E Zone to support transit-oriented development and to provide a gentle transition from the more intense LTO-C Zone to the adjacent single-family zones.

This rezoning advances the policies of the plan by implementing Policies LU 13 and HN 15 to provide space for high-density mixed-use and multi-unit housing development. These properties are split between the RSF-A and the RSF-65 Zones. These are predominately single-family zones that provide opportunities for detached, attached, and two-to-three family homes and cannot sufficiently implement the policies of the plan.

Tax Accounts

2053262, 3015476, 3015468, 2089290, 2032803, 2032811, 2077790

Zoning Change 37 (ZC 37): RSF-A to LTO-E

Zoning Change No

ZC 37 RSF-A LTO-E 9.85 Acres Addison Road-Seat Pleasant LU 1, LU 2, LU 6, LU 13, HN 1, HN 2, HN 15

Future Land Use Mixed Use

Does the rezoning create nonconformance? No

201SE06

Justification: The plan recommends rezoning to the LTO-E Zone to support transit-oriented development and to provide a gentle transition from the more intense LTO-C Zone to the single-family zones adjacent to it.

The reclassification of this property advances Policy LU 13 and Policy HN 11 by allowing for highdensity mixed-use and multi-unit housing development near the Metro station. The current zone, RSFA, which primarily supports town homes, cannot implement these policies. Tax Accounts

2056224

Zoning Change 38 (ZC 38): RSF-65 to LTO-E

Zoning Change No

ZC 38 RSF-65 LTO-E 23.30 Acres Addison Road-Seat Pleasant LU 1, LU 2, LU 6, LU 13, HN 1, HN 2, HN 15

Future Land Use

201SE06

Mixed Use

Does the rezoning create nonconformance? Yes

Justification: The plan recommends rezoning to the LTO-E Zone to support transit-oriented development and to provide a gentle transition from the more intense LTO-C Zone to the single-family zones adjacent to it.

Under the proposed LTO-E Zone, existing single-family detached residential dwellings will become nonconforming. The creation of a nonconforming use advances the policies of the plan. This rezoning implements Policy LU 13 and Policy HN 11 by providing space for high-density mixed-use and multiunit housing development near the Addison Road-Seat Pleasant Metro Station. The current zone, RSF65, which primarily supports single-family homes, cannot implement these policies.

Tax Accounts

2109619, 2077147, 2077154, 2107191, 2072544, 2023307, 2061562, 2068625, 2066496, 2048700, 2016665, 2074128, 2068229, 2066918, 1990043, 2032316, 2072585, 2038776, 2104099, 2067734, 2058790, 2098028, 9999999, 2015030, 2107779, 1991215, 2072189, 2005445, 2040756, 2058675, 2071785, 2015386, 2065035, 2045789, 2016673, 2064756, 2062552, 2105112

Zoning Change 39 (ZC 39): LTO-E to LTO-C

Zoning Change No

ZC 39

Future Land Use

Mixed Use

Does the rezoning create nonconformance? No

Justification: Metro stations and the quarter-mile area around them belong in the Local TransitOriented, Core designation pursuant 27-4204(e)(2) Division of Zone into Core and Edge Areas. The Addison Road-Seat Pleasant Local Transit Center is the only center within the plan’s boundary without the LTO-C Zone, thereby hindering the potential for the highest level of transit supportive density here. This zoning designation is being applied to the existing Metro station, with the understanding that the land use there will not change. Aside from the Metro station, the Core will encompass the Addison Plaza Shopping Center and other properties lining Central Avenue.

Rezoning these properties to LTO-C will permit a rich mix of uses and higher density near the Addison Road-Seat Pleasant Metro Station, in turn incentivizing business development and allowing more people to live and work near transit. This reclassification advances Policy LU 13 which recommends the highest density within the Local Transit Centers to protect established communities.

Tax Accounts

2023208, 2024420, 2024404, 2104008, 2122034, 4048179, 2094829, 2018265, 2018455, 2018497, 2018273, 2018281, 2018299, 2018307, 2018315, 2018323, 2018331, 2018349, 2018356, 2018364, 2018372, 2018380, 2018398, 2018406, 2018414, 2018422, 2018430, 2018448, 2018463, 2018471, 2018489, 2018505, 2081495, 2081487, 2003135, 2035566, 2035558, 2109973, 2064913, 2042927, 2042919, 2040996, 2040988, 2040970, 2040962, 2040954, 2089027

Zoning Change 40 (ZC 40): CGO to LTO-E

Future Land Use

Mixed Use

Does the rezoning create nonconformance? No

Justification: The center boundary shall be extended to include this property and permit rezoning to the LTO-E Zone from the CGO Zone

This property’s proximity to the Addison Road-Seat Pleasant Metro Station makes it appropriate for higher-intensity, mixed-use, pedestrian-oriented, and transit-supportive development.

Sector Plan Policy LU 13 and Policy HN 11 envision transit-oriented mixed use housing development here. The LTO-E Zone enables the character of development that fits in this context.

Accounts

Zoning Change 41 (ZC 41): RSF-A to LTO-E

Zoning Change No

ZC 41 RSF-A LTO-E 2.71 Acres Addison Road-Seat Pleasant LU 1, LU 2, LU 6, LU 13, HN 1, HN 2, HN 15

Future Land Use

210SE06

Mixed Use

Does the rezoning create nonconformance? No

Justification: The center boundary shall be extended to include this property and permit rezoning to the LTO-E Zone from the RSF-A Zone

Proximity to the Addison Road-Seat Pleasant Metro Station makes the properties appropriate for higher-intensity, mixed-use, pedestrian-oriented, and transit-supportive development.

Sector plan Policy LU 13 and Policy HN 11 envision transit oriented and multi-unit housing development here. The LTO-E Zone enables the character of development that fits in this context. The current zone, RSF-A, which primarily supports townhouses and two-three family homes cannot implement these policies.

Tax Accounts

2058717, 2058709

Zoning Change 42 (ZC 42): CS to LTO-E

Zoning Change No

ZC 42 CS LTO-E 0.68 Acres Addison Road-Seat Pleasant LU 1, LU 2, LU 6, LU 13, HN 1, HN 2, HN 15 201SE06

Future Land Use

Mixed Use

Does the rezoning create nonconformance? Yes

Justification: The center boundary shall be extended to include this property and permit rezoning to the LTO-E Zone from the CS Zone.

This property’s proximity to the Addison Road-Seat Pleasant Metro Station makes the property appropriate for higher-intensity, mixed-use, pedestrian-oriented, and transit-supportive development

Under the proposed LTO-E Zone, the existing personal vehicle repair shop will become nonconforming. The creation of this nonconforming use advances the vision of the plan. This rezoning implements Policy LU 13 and Policy HN 11 by providing space for high-density mixed-use and multi-unit housing development near the Addison Road-Seat Pleasant Metro Station. The current zone, CS, which primarily supports retail, and services cannot advance these policies. Tax Accounts 2064426

Zoning Change 43 (ZC 43): RSF-65 to LTO-E

Zoning Change No

ZC 43 RSF-65 LTO-E 1.44 Acres Addison Road-Seat Pleasant LU 1, LU 2, LU 6, LU 13, HN 1, HN 2, HN 15

Future Land Use

201SE06

Mixed Use

Does the rezoning create nonconformance? Yes

Justification: The center boundary shall be extended to include this property and permit rezoning to the LTO-E Zone from the RSF-65 Zone

Proximity to the Addison Road-Seat Pleasant Metro Station makes the properties appropriate for higher-intensity, mixed-use, pedestrian-oriented, and transit-supportive development.

Under the proposed LTO-E Zone, existing single-family detached residential dwellings will become nonconforming. The creation of a nonconforming use advances the policies of the plan. This rezoning implements Policy LU 13 and Policy HN 11 by providing space for high-density mixed-use and multiunit housing development near the Addison Road-Seat Pleasant Metro Station. The current zone, RSF65, which primarily supports single-family homes, cannot implement these policies.

Tax Accounts

2112449, 2009504, 2088888, 1993641

Summerfield Town Center

Map 10. Existing Zoning

Map 11. Proposed Zoning

Table 7. Summerfield Town Center

Zoning Change 44 (ZC 44) LCD to TAC-E

Zoning Change No

ZC 44 LCD TAC-E 246 30 Acres Summerfield Town Center LU 15, EP 11, EP 12, HN 16, HN 17, HD 11, HD 12

Future Land Use

Mixed Use

Does the rezoning create nonconformance? No

Justification: This property is in the Legacy Comprehensive Design (LCD) Zone, a zone to recognize basic plans, comprehensive design plans, or specific design plans approved prior to April 1, 2022. The most recent revision of SDP-9515-11 was approved on 8/1/2022 and proceeded under the prior Zoning Classification of Comprehensive Design, Residential Medium Development (R-M). That prior zone was oriented towards the creation of a plan implementation zone which allowed residential densities based on the public benefit.

This ‘legacy zone’ should be rezoned to reflect the wide variety of potential uses on the expansive site, such as residential, retail, and sports and entertainment uses, such as a football stadium. TAC-E Zone supports this mix of uses and aligns with the geographic context of these properties. Additionally, rezoning to TAC-E advances Policy LU 15 by providing zoning permissible of new development with a variety of uses that also complement the stadium environment and strengthen the local and regional economy.

Tax Accounts

3337227, 3023942, 3023959, 3023975, 3023967, 3023983, 3024015, 3023991, 1566330, 3024007

202NE07

Zoning Change 45 (ZC 45): LCD to TAC-C

Zoning Change No

ZC 45 LCD TAC-C 23.22 Acres Summerfield Town Center LU 15, EP 11, EP 12, HN 16, HN 17, HD 11, HD 12

Future Land Use

202NE07, 202NE08 203NE07, 203NE08

Mixed Use

Does the rezoning create nonconformance? No

Justification: These properties are in the Legacy Comprehensive Design (LCD) Zone, a zone to recognize basic plans, comprehensive design plan, or specific design plans approved prior to April 1, 2022. The most recent revision of SDP-9515-11 was approved on 8/1/2022 and proceeded under the prior Zoning Classification of Comprehensive Design, Residential Medium Development (R-M). That prior zone was oriented towards the creation of a plan implementation zone which allowed residential densities based on the public benefit.

This ‘legacy zone’ should be rezoned to reflect the wide variety of potential uses on the expansive site, such as residential, retail, and sports and entertainment uses, such as a football stadium. The TAC-C Zone supports this mix of uses and aligns with the existing land use context of this property as the stadium site. Additionally, rezoning to TAC-E advances Policy LU 15 by providing zoning permissible of new development with a variety of uses that also complement the stadium environment and strengthen the local and regional economy.

MD 704 (Martin Luther King Jr Highway) Neighborhood Retail Focus Area

Map 12. Existing Zoning

Map 13. Proposed Zoning

Table 8. MD 704 (Martin Luther King Jr Highway) Zoning Changes

Zoning Change 46 (ZC 46): IE to RSF-A

ZC 46 IE RSF-A 4.58 Acres Martin Luther King Jr Highway LU 16, HN 2, HN 18 201NE05

Future Land Use

Residential Medium-High Does the rezoning create nonconformance? No

Justification: These properties are being rezoned to a medium-high density residential Zone, RSF-A to support the development of a mixed-use main street and allow for the development of townhomes, and two-to-three family attached dwellings.

These properties do not front MD 704, but rezoning to a residential Zone will allow more people to live near resources and amenities. This rezoning and correlated change in Future Land use will serve to complement the surrounding uses, including townhome development just across the District of Columbia border. Additionally, the rezoning advances Policies LU 16 and HN 18 by supporting contextsensitive residential development. Tax Accounts 2113355, 2110930, 2110898, 2061232

Zoning Change 47 (ZC 47): IE to CN

ZC 47 IE CN 3.61 Acres Martin Luther King Jr Highway LU 16, EP 1, EP 2, EP 13 210NE05

Future Land Use

Commercial, Institutional

Does the rezoning create nonconformance? No

Justification: Rezoning this property will ensure that the desired commercial land use is permitted. This rezoning advances Policy LU 16 by enabling the development of a small-scale retail and service commercial space that is convenient, accessible, pedestrian-friendly, and neighborhood-scale. This rezoning enables the desired development character, which cannot be achieved by the existing IE zone and its associated uses.

Tax Accounts

2095644, 2080869, 2119097, 2119105, 1986983, 2059178, 2107225, 2009496, 2076479, 2004737, 2012151, 1993617, 1993625, 2059517, 2035723, 2035731, 2059525, 1993120, 2113306, 2113298, 1993138

Zoning Change 48 (ZC 48): IE to CN

ZC 48 IE CN 5.92 Acres Martin Luther King Jr Highway LU 16, EP 1, EP 2, EP 13 201NE05, 201NE06

Future Land Use

Commercial

Does the rezoning create nonconformance? Yes

Justification: This rezoning creates a nonconforming use on one property because a Restaurant, quickservice (with drive-through) is prohibited in the CN Zone. As noted above, a downzoning that creates a nonconforming use may be approved “if there is a significant public benefit to be served by the zoning based on facts peculiar to the subject property and the immediate neighborhood.” Zoning Ordinance § 27-3503(a)(5)(B). Rezoning this property will ensure that the desired commercial land use is permitted instead. The creation of this nonconformance advances Policy LU 16 by enabling the development of a small-scale retail and service space that is convenient, accessible, pedestrianfriendly, and neighborhood-scale. This rezoning enables the desired development character, which cannot be achieved by the IE Zone and its associated uses. Accordingly, there is a significant public benefit to this rezoning Tax Accounts

2032142, 2015832, 2015824, 2018109, 2082543, 2067882

Zoning Change 49 (ZC 49): IE to CS Zoning

ZC 49 IE

Future Land Use

of

CS 1.95 Acres Martin Luther King Jr Highway

Commercial

Does the rezoning create nonconformance? No

LU 16, EP 1, EP 2, EP 13 201NEO05, 201NE06

Justification: Rezoning these properties to the Commercial, Service Zone advances the small-scale retail vision by providing for a concentration of retail sales and services, office, eating or drinking establishments and accommodating medium- to moderately high-density residential development. Additionally, this rezoning supports Policy LU 16 by providing the zoning necessary to redevelop this area into a walkable, mixed-use main street. The current zone, IE, which primarily supports industrial uses cannot implement these policies.

Tax Accounts

3106648, 3106630

Established Communities

Map 14. Existing Zoning
Map 15. Proposed Zoning

Map 14. Zone Changes

Table 9. Outside Focus Areas Zoning Changes

ZC 50 IE to RSF-65 2.74 Acres

ZC 51 IE to RSF-65 1.26 Acres

ZC 52 RSF-65 to ROS 9.95 Acres

ZC 53 RSF-A to CN 0.12 Acres

ZC 54 AG to ROS

Acres

ZC 55 RR to ROS 1 Acres

ZC 56 RSF-65 to RSF-A

Acres

ZC 57 RSF-65 to CGO 3.14 Acres

ZC 58 RMF-48 to CGO 10.27 Acres

ZC 59 RMF-48 to IE 111.73 Acres

ZC 60 RSF-A to RMF-20 0.74 Acres

ZC 61 IE to CGO 48.50 Acres

Zoning Change 50 (ZC 50): IE to RSF-65

Zoning Change No

ZC 50 IE, RSF-65 RSF-65 2.74 Acres

Future Land Use

Established Communities LU 1, LU 3, HN 1, HN 2 201NE05, 201NE06, 201SE05, 201SE06

Residential Medium

Does the rezoning create nonconformance? No

Justification: This property is split between the RSF-65 Zone and the IE Zone. Only a small portion, approximately 0.30 acres, is in the IE zone. Rezoning that portion of the property to match the majority designation of RSF-65 will align this to the surrounding land uses, which are predominantly residential. Industrial uses are more appropriate for areas outside of residential neighborhoods.

This rezoning advances Policy LU 1 by aligning zoning with the existing land use character of this established community. Policy LU 3 calls for the rezoning of industrial areas to create conditions where residential-compatible uses can thrive. The current IE Zone, which primarily supports industrial uses, cannot implement these policies.

Tax Accounts

2110948

Zoning Change 51 (ZC 51): IE to RSF-65 Zoning Change No

ZC 51 IE, RSF-65 RSF-65 1.26 Acres Established Communities LU 3, HN 1, HN 2 201NE05

Future Land Use

Residential Medium

Does the rezoning create nonconformance? Yes

Justification: This property is split between the RSF-65 Zone and the IE Zone. Industrial uses are more appropriate for areas outside of residential neighborhoods. The surrounding land uses are predominantly residential or recreational and these properties should be rezoned to correspond to the land use vision of this area as a residential community.

This rezoning creates a nonconforming use on one property because a vehicle storage yard is prohibited in the RSF-65 Zone. As noted above, a downzoning that creates a nonconforming use may be approved “if there is a significant public benefit to be served by the zoning based on facts peculiar to the subject property and the immediate neighborhood.” Zoning Ordinance § 27-3503(a)(5)(B).

Rezoning this property will remedy the existing split zone and will ensure that the desired residential land use is permitted. This rezoning advances Policy LU 1 by aligning zoning with the existing land use character of this established community. Policy LU 3 calls for the rezoning of industrial areas to create conditions where residential-compatible uses can thrive. The current IE Zone, which primarily supports industrial uses, cannot implement these policies. Accordingly, there is a significant public benefit to this rezoning.

Tax Accounts

2032852, 2057974, 2057982

Zoning Change 52 (ZC 52): RSF-65 to ROS

Zoning Change No Current Zone Proposed Zone Area of Change Focus Area Applicable Policy

Scale Index Map

ZC 52 RSF-65 ROS 9.95 Acres Established Communities NE 6, HD 4, PF 2, PF 5 201NE05, 201NE06

Future Land Use Parks and Open Space

Does the rezoning create nonconformance? No

Justification: These properties are owned by the City of Seat Pleasant as part of Goodwin Park

Rezoning these properties to ROS will align them with the intent to preserve open space and retain space for passive and active recreation activities. This reclassification implements Policy NE 6 by promoting the enhancement and stewardship of parks as community amenities. This rezoning also implements Policy PF 2 by ensuring the preservation and protection of park land through a reduction in its development potential. The current zone, RSF-65, which supports and enables single-family homes cannot implement these policies.

Tax Accounts

2093672, 1992502

Zoning Change 53 (ZC 53): RSF-A to CN

Zoning Change No

ZC 53 RSF-A CN 0.12 Acres Established Communities LU 1, LU 3, EP 1 201SE05

Future Land Use Commercial

Does the rezoning create nonconformance? No

Justification: This property’s proximity to Old Central Avenue makes it appropriate for commercial development.

The plan recommends rezoning to the CN Zone to support the adjacent LTO-E zoning in the Capitol Heights and Addison Road-Seat Pleasant Centers, to allow for commercial development to front the CACT, and to create opportunities for higher densities on vacant properties here.

Rezoning this property advances Policy EP 1 by enabling the development of a small-scale retail and service commercial space that is convenient, accessible, pedestrian-friendly, and neighborhood-scale. The current zone, RSF-A, which primarily supports townhouses and two-three family homes cannot implement these policies.

Tax Accounts

1986579

Zoning Change 54 (ZC 5 4): AG to ROS

ZC 54 AG ROS 18.09 Acres

Future Land Use

Established Communities NE 6, HD 4, PF 2, PF 5 202SE05, 201SE06, 202SE05, 202SE06

Parks and Open Space

Does the rezoning create nonconformance? No

Justification: These properties are M-NCPPC owned and comprise Rollins Avenue Park, which has a mix of recreational uses including basketball and tennis courts, a playground, and a community garden. Rezoning these properties to ROS will align them with their existing and proposed future recreational land use and will limit the extent these vacant pieces can be developed.

This reclassification implements Policy NE 6 by promoting the enhancement and stewardship of parks as community amenities. This rezoning implements Policy PF 2 by ensuring the preservation and protection of park land through a reduction in its development potential. The current zone, AG, which supports low-density residential development cannot implement these policies.

Tax Accounts

2064061, 2064079

Zoning Change 55 (ZC 5 5): RR to ROS

Zoning Change No Current Zone

Zone Area of Change

ZC 55 RR ROS 1 Acre

Future Land Use

Established Communities NE 6, HD 4, PF 2, PF 5 201SE06, 202SE06

Parks and Open Space

Does the rezoning create nonconformance? No

Justification: These properties are M-NCPPC owned and comprise Rollins Avenue Park, which has a mix of recreational uses including basketball and tennis courts, a playground, and a community garden. Rezoning these properties to ROS will align them with their existing and proposed future recreational land use this to the existing and future active and passive recreation uses within the park and will limit the extent these vacant pieces can be developed.

This reclassification implements Policy NE 6 by promoting the enhancement and stewardship of parks as community amenities. This rezoning implements Policy PF 2 by ensuring the preservation and protection of park land through a reduction in its development potential. Placing this property in the ROS Zone ensures its continuation as a park. The current zone, RR, which supports low-density residential development cannot implement these policies.

Tax Accounts

2035863

Zoning Change 56 (ZC 56): RSF-65 to RSF-A

Zoning Change No

ZC 56 RSF-65 RSF-A 12.89 Acres Established Communities LU 3, HN 1, HN 2 201SE06

Future Land Use

Residential-Medium High

Does the rezoning create nonconformance? No

Justification: This area is being rezoned to a more permissive, medium-high intensity residential zone, to increase the variety of housing types and align zoning with future land use.

This rezoning advances Policy LU 3 and Policy HN 2 by permitting more diverse types of housing, such as townhomes. The current RSF-65 Zone, which primarily supports single-family homes, cannot implement these policies.

Tax Accounts

1991140, 2089043

Zoning Change 57 (ZC 57): RSF-65 to CGO

Zoning Change No

ZC 57 RSF-65 CGO 3.14 Acres Established Communities LU 1, LU 3, EP 1 201SE06

Future Land Use

Commercial

Does the rezoning create nonconformance? No

Justification: The plan recommends rezoning to the CGO Zone to allow for commercial development and to create opportunities for higher densities on vacant properties fronting MD 214.

The Sector Plan intends for this area along Central Avenue to have a higher mix of uses including limited commercial development to complement adjacent properties in the CGO Zone. Rezoning these properties advances Policy LU 3 which recommends the redevelopment of vacant properties to provide neighborhood-serving amenities. The current RSF-65 Zone, which supports and enables single-family homes, cannot implement this policy. Tax Accounts

2007714, 2115939, 2061471, 2015428, 2115426, 2094217

Zoning Change 58 (ZC 58): RMF-48 to CGO

Zoning Change No

ZC 58 RMF-48 CGO 10.27 Acres

Future Land Use

Commercial

Does the rezoning create nonconformance? No

Justification: The plan recommends rezoning to the CGO Zone to allow for commercial development and to create opportunities for higher densities on vacant properties fronting MD 214

The Sector Plan intends for this area along Central Avenue to have a higher mix of uses including limited commercial development to complement adjacent properties in the CGO Zone. Rezoning these properties advances Policy LU 3 which recommends the redevelopment of vacant properties to provide neighborhood-serving amenities.

Tax Accounts

3385382, 5517655, 5517644

Zoning Change 59 (ZC 59): RMF-48 to IE

Zoning Change No

ZC 59

-48

Future Land Use

Industrial/Employment

Does the rezoning create nonconformance? No

Justification: The Future Land Use Map (FLUM) in the sector plan recommends Industrial/Employment land uses on these properties

Rezoning these properties to the IE Zone will advance the goal of the Land Use chapter in aligning zoning to preferred future land use. This rezoning also advances Policies EP 2 and EP 5 by allowing for small business and industrial industry clusters to arise. The current RMF-48 Zone, which supports and enables high-density multifamily development, does not implement the vision of the FLUM.

Tax Accounts

5517815, 5517770, 5517781, 5517792, 5517804, 5517837, 5517768, 5517757, 5517746, 5517735, 5517724, 5517713, 5517702, 5517826, 5517690, 5517688, 5517677, 5517666, 5518524, 5518513, 5518502, 5518546, 5518490, 5518375, 5518386, 5518397, 5518422, 5518433, 5518444, 5518455, 5518466, 5518477, 5518488, 5518557, 5518568, 5518570, 5518581, 5518592, 5518604, 5518615, 5518626, 5518637, 5518648, 5518650, 5518661, 5518672, 5518683, 5518694, 5518706, 5518717, 5518535, 5519073, 5519062, 5519051, 5519040, 5519038, 5519027, 5519016, 5519005, 5519346, 5519335, 5519324, 5519313, 5519302, 5519290, 5519288, 5519277, 5519266, 5519255, 5519244, 5519233, 5519131, 5519142, 5519153, 5519164, 5519175, 5519186, 5519197, 5519200, 5519211, 5519222, 5518991, 5519404, 5518945, 5518956, 5518967, 5518978, 5518980, 5519084, 5519095, 5519107, 5519118, 5519120, 5519415, 5518887, 5518898, 5518901, 5518912, 5518923, 5518934, 5519563, 5519574, 5519585, 5519596, 5519608, 5518821, 5518832, 5518843, 5518854, 5518865, 5518876, 5519517, 5519528, 5519530, 5519541, 5519552, 5519712, 5519357, 5519368, 5519370, 5519381, 5519392, 5519610, 5519621, 5519632, 5519643, 5519654, 5519665, 5519676, 5519687, 5519698, 5519701, 5519506, 5519494, 5519483, 5519472, 5519461, 5519450, 5519448, 5519437, 5519426, 5518808, 5518796, 5518785, 5518774, 5518763, 5518752, 5518741, 5518730, 5518728, 5518091, 5519723, 5519893, 5519745, 5519756, 5519767, 5519778, 5519780, 5519791, 5519803, 5519814, 5519825, 5519836, 5519847, 5519871, 5519882, 5519858, 5519860, 5519734, 5520573, 5521054, 5521065, 5518080, 5518078, 5518067, 5518056, 5518045, 5518034, 5518023, 5518012, 5518001, 5518103, 5517996, 5517985, 5517974, 5517963, 5517952, 5517941, 5517930, 5517928, 5517917, 5517906, 5517894, 5517883, 5517872, 5517861, 5517850, 5517848, 5518171, 5518160, 5518158, 5518147, 5518136, 5518125, 5518114, 5520356, 5520345, 5520334, 5520323, 5520312, 5520301, 5520298, 5520287, 5520276, 5520265, 5520243, 5520232, 5520221, 5520210, 5520208, 5520196, 5520185, 5520174, 5520163, 5520152, 5520141, 5520130, 5520551, 5520540, 5520538, 5520527, 5520516, 5520505, 5520493, 5520367, 5520378, 5520380, 5520471, 5520460, 5520391, 5520458, 5520414, 5520425, 5520436, 5520447, 5519905, 5519916, 5519927, 5519938, 5519940, 5519951, 5519962, 5519973, 5520128, 5520117, 5520106, 5520094, 5520083, 5520072, 5520061, 5520050, 5520048, 5520037, 5520026, 5520015, 5520004, 5519995, 5518273, 5518262, 5518251, 5518240, 5518364, 5518284, 5518295, 5518307, 5518318, 5518320, 5518331, 5518342, 5518182, 5518193, 5518205, 5518216, 5518227, 5518238, 5520562, 5521076, 5520733, 5520722, 5520711,

5520700, 5520755, 5520697, 5520686, 5520675, 5520664, 5520653, 5520870, 5520868, 5520857, 5520846, 5520835, 5520824, 5520813, 5521043, 5521032, 5521021, 5521010, 5521008, 5520994, 5520983, 5520972, 5520961, 5520950, 5520948, 5520937, 5520926, 5520915, 5520904, 5520892, 5520881, 5520790, 5520788, 5520777, 5520766, 5520642, 5520631, 5520620, 5520618, 5520607, 5520595, 5520584, 5520744

Central Avenue Blue/Silver Line Proposed SMA

Zoning Change 60 (ZC 60): RSF-A to RMF-20

Zoning Change No Current Zone Proposed Zone Area of Change

ZC 60 RSF-A RMF-20 0.74 Acres

Future Land Use

Established Communities LU 3, HN 2 201SE07

Residential Medium-High Does the rezoning create nonconformance? No

Justification: The Future Land Use Map (FLUM) in the sector plan recommends Residential MediumHigh land use on these properties.

Rezoning these properties to the RMF-20 Zone will advance the goal of the Land Use chapter in aligning zoning to preferred future land use. This rezoning also advances Policy HN 2 by increasing the variety of unit types that can be built. The current RSF-A Zone, which does not allow small scale multifamily development, does not implement the vision of the FLUM.

Tax Accounts

5651286, 5651275

Zoning Change 61 (ZC 61): IE to CGO

ZC 61 IE CGO 48 50 Acres Established Communities LU 1, LU 3, EP 1, EP 2 201NE08, 201SE08

Future Land Use Commercial

Does the rezoning create nonconformance? Yes

Justification: These properties are within the General Plan designated Employment Areas. The General Plan recommends continuing to support business growth in these geographic areas in the targeted industry clusters concentrating new business development near transit where possible, improving transportation access and connectivity, and creating opportunities for synergies (Page 19).

This rezoning creates nonconforming uses on properties because consolidated storage uses, and drivethrough restaurants are prohibited in the CGO Zone. As noted above, a downzoning that creates a nonconforming use may be approved “if there is a significant public benefit to be served by the zoning based on facts peculiar to the subject property and the immediate neighborhood.” Zoning Ordinance § 27-3503(a)(5)(B). Additionally, gas stations are only allowed in CGO by special exception. Rezoning these properties will ensure that the desired commercial land use is possible.

This recommendation is supported by Policy LU 3 which calls for the rezoning of industrial areas to create conditions where business uses can thrive. Additionally, this rezoning helps to achieve Policies EP 1 and EP 2 by providing the appropriate zoning to develop varied businesses and economic generators while supporting entrepreneurs. The current IE Zone, which primarily supports industrial uses, cannot implement these policies. Based on the foregoing, there is a significant public benefit to this rezoning

Tax Accounts

1536077, 1442664, 1441120, 1504034, 1440965, 1544121, 1554146, 1441237, 1441229, 1440916, 1441443, 1441484, 1441476, 2925766, 5626841, 5625972, 5626852, 5625983, 5629343, 5625994, 5626863, 5626874, 5626885, 5626008, 5626010

Turn static files into dynamic content formats.

Create a flipbook
Issuu converts static files into: digital portfolios, online yearbooks, online catalogs, digital photo albums and more. Sign up and create your flipbook.