الحكومة: اعتبار عدة مشروعات من أعمال المنفعة العامة.. بينهم محور ياسر رزق

Page 1

لوادتلادنعاهبدتعيلاةينورتكلإةروص ﺔﯿﻤﺳﺮﻟا ةﺪﯾﺮﺠﻟا –دﺪﻌﻟا٥٠ رﺮﻜﻣ ) أ ( ﻰﻓ ١٨ ﺮﺒﻤﺴﯾد ﺔﻨﺳ ٢٠٢٢ ١ ﺔﻨﺴﻟا نﻮﺘﺴﻟاو ﺔﺴﻣﺎﺨﻟا ﻰﻓردﺎﺼﻟا ٢٤ ﻰﻟوﻷا ىدﺎﻤﺟ ﺔﻨﺳ١٤٤٤ ـھ ﻖﻓاﻮﻤﻟا ) ١٨ ﺮﺒﻤﺴﯾد ﺔﻨﺳ ٢٠٢٢ م ( دﺪـﻌﻟا ٥٠ رﺮﻜﻣ ) أ ( (رﺮﻜﻣ) ﻦﻤﺜﻟﺍ ١٢ ﺎﻬﻴﻨﺟ

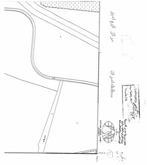
ﻕﺎـﻁﻨﺒ ﻯﺩﺎـﻌﻤﻟﺍ ﺭﻭ ﻥﻴﺘﺎﺴﺒﻟﺍ ﻰﺤ - ﺓﺭﻫﺎﻘﻟﺍ ﺔﻅﻓﺎﺤﻤ ﺔﻤﺎﻌﻟﺍ ﺔﻌﻔﻨﻤﻟﺍ لﺎﻤﻋﺃ ﻥﻤ ......

ﻡﻗﺭ ﺭﺍﺭﻗ ٤٥٠١ ﺔـﻨﺴﻟ ٢٠٢٢ ﺭﺎـﺒﺘﻋﺎﺒ ﺭﺎﺴـﻤ ﺀﺎﺸـﻨﺇ ﻉﻭﺭﺸـﻤ ﻥﻴﻌﻁﺎﻘﻟﺍ ﻥﻴﻓﺭﺼﻤﻟﺍ ،٢) (٣ ﺱﺭﺎﻓ ﺔﻴﺭﻘﺒ - ﻭـﺒﻤﺃ ﻡﻭﻜ ﺯﻜﺭﻤﻥﺍﻭﺴﺃ ﺔﻅﻓﺎﺤﻤ ﺔﻤﺎﻌﻟﺍ ﺔﻌﻔﻨﻤﻟﺍ لﺎﻤﻋﺃ ﻥﻤ

لوادتلادنعاهبدتعيلاةينورتكلإةروص ﺔﯿﻤﺳﺮﻟا ةﺪﯾﺮﺠﻟا –دﺪﻌﻟا٥٠ رﺮﻜﻣ ) أ ( ﻰﻓ ١٨ ﺮﺒﻤﺴﯾد ﺔﻨﺳ ٢٠٢٢ ٢ ﺩﺪـــﻌﻟﺍ ﺕﺎـﻳﻮﺘﳏ : ﺕﺍﺭﺍﺮــﻗ ﺲﻠﳎ ﺲﻴﺋﺭ ءﺍﺭﺯﻮﻟﺍ ﺔﺤﻔﺼﻟﺍ ﻡﻗﺭ ﻡــﻗﺭ ﺭﺍﺭـﻗ ٤٤٩٩ ﺔﻨﺴـﻟ ٢٠٢٢ ﺭﺎـﺒﺘﻋﺎﺒ ﺭﻭـﺤﻤ ﻰﻋﻭﺭﺸـﻤ ﻉﺭﺎﺸ ﺔﻌﺴﻭﺘﻭ ﻕﺯﺭ ﺭﺴﺎﻴ (٩) ﺔﻤﺎﻌﻟﺍ ﺔﻌﻔﻨﻤﻟﺍ لﺎﻤﻋﺃ ﻥﻤ ....... ٣ ﻡﻗﺭ ﺭﺍﺭﻗ ٤٥٠٠ ﺔـﻨﺴﻟ ٢٠٢٢ ﺭﺎـﺒﺘﻋﺎﺒ ﺔـﻴﻜﻠﻤ ﻉﺯـﻨ ﻉﻭﺭﺸـﻤ ﺔﺤﺎﺴﻤ ﻡ١٠٦٦٠)٢( ﻓﺭﺎـﻜ ﺏﻭﻨﺠ ﺔﻨﺌﺎﻜﻟﺍ
١٨
....................... ٢٦

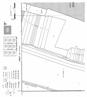
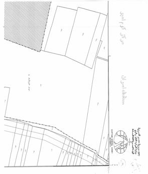
ﺃﺩﺒﻴﻭ ، ﻡﻜ ﷲﺍ ﺏﺴﺤ ﺭﻭﺤﻤ ﺔﻴﺎﻬﻨ ﺔـﻌﻠﻘﻟﺍ ﻡﺎﻤﺃ ﻡﻟﺎﺴ ﺡﻼﺼ ﻰﺘﺤ ﺩﻋﺎﺼﻟﺍ ﻕﻴﺭﻁﻟﺍ ﻊﻤ ﻪﻴﻗﻼﺘﻭ ﺕﺍﺭﻤﺴﻷﺍ ﺏﻭﻨﺠ ﻯﻭﺍﺭﻔﻜﻟﺍ ﺽﺭﻌﺒ (٥) ﻩﺎﺠﺘﺍ لﻜﺒ ﺕﺭﺎﺤ . ٢ - ﻌﺴﻭﺘﻭ ﺭﻴﻭﻁﺘ ﻉﻭﺭﺸﻤ ﺔ ﻉﺭﺎﺸ (٩) لﻭﻁﺒ (٧)

لوادتلادنعاهبدتعيلاةينورتكلإةروص ﺔﯿﻤﺳﺮﻟا ةﺪﯾﺮﺠﻟا –دﺪﻌﻟا٥٠ رﺮﻜﻣ ) أ ( ﻰﻓ ١٨ ﺮﺒﻤﺴﯾد ﺔﻨﺳ ٢٠٢٢ ٣ ﺭﺍﺮﻗ ﺲﻴﺋﺭ ءﺍﺭﺯﻮﻟﺍ ﺲﻠﳎ ﻢﻗﺭ ٤٤٩٩ ﺔﻨﺴﻟ ٢٠٢٢ ءﺍﺭﺯﻮﻟﺍ ﺲﻠﳎ ﺲﻴﺋﺭ ؛ ﺭﻭﺘﺴﺩﻟﺍ ﻰﻠﻋ ﻉﻼﻁﻻﺍ ﺩﻌﺒ ﻰﻠﻋﻭ ﻥﻭﻨﺎﻗ ﻡـﻗﺭ ﻥﻭﻨﺎـﻘﻟﺎﺒ ﺭﺩﺎﺼـﻟﺍ ﺔﻴﻠﺤﻤﻟﺍ ﺓﺭﺍﺩﻹﺍ ﻡﺎﻅﻨ ٤٣ ﺔﻨﺴـﻟ ١٩٧٩ ﺔﻴﺫﻴﻔﻨﺘﻟﺍ ﻪﺘﺤﺌﻻﻭ ؛ ﻡﻗﺭ ﻥﻭﻨﺎﻘﻟﺍ ﻰﻠﻋﻭ ١٠ ﺔﻨﺴﻟ ١٩٩٠ ﺔـﻤﺎﻌﻟﺍ ﺔـﻌﻔﻨﻤﻠﻟ ﺕﺍﺭﺎﻘﻌﻟﺍ ﺔﻴﻜﻠﻤ ﻉﺯﻨ ﻥﺄﺸﺒ ؛ ﺔﻴﺫﻴﻔﻨﺘﻟﺍ ﻪﺘﺤﺌﻻﻭ ﻭ ﻗﺭ ﺔﻴﺭﻭﻬﻤﺠﻟﺍ ﺱﻴﺌﺭ ﺭﺍﺭﻗ ﻰﻠﻋ ﻡ ٢٧٩ ﺔﻨﺴﻟ ٢٠١٨ ﺽﻌﺒ ﻰﻓ ﺽﻴﻭﻔﺘﻟﺎﺒ ؛ ﺕﺎﺼﺎﺼﺘﺨﻻﺍ ﺭﻴﺯﻭ ﻪﻀﺭﻋ ﺎﻤ ﻰﻠﻋ ﺀﺎﻨﺒﻭ ﺔﻴﻠﺤﻤﻟﺍ ﺔﻴﻤﻨﺘﻟﺍ ؛   ) ( ﺔﻤﺎﻌﻟﺍ ﺔﻌﻔﻨﻤﻟﺍ لﺎﻤﻋﺃ ﻥﻤ ﺭﺒﺘﻌﻴ ﻘﻁﻨﻤ ﻕﺎﻁﻨﺒ ﺔ ﺓﺭﻫﺎﻘﻟﺍ ﺔﻅﻓﺎﺤﻤﺒ ﻡﻁﻘﻤﻟﺍ : ١ - لﻭﻁﺒ ﻕﺯﺭ ﺭﺴﺎﻴ ﺭﻭﺤﻤ ﻉﻭﺭﺸﻤ (٩) ﻥﻤ
ﻊﻤ ﻪﺌﺎﻘﺘﻟﺍ ﻰﺘﺤ ﻩﺩﺍﺩﺘﻤﺍﻭ ﺓﺭﻭﻓﺎﻨﻟﺍ ﻥﺍﺩﻴﻤ ﻰﻟﺇ ﻡﺎـﻤﺃ ﺔﻴﻨﻴﺼﻟﺍ ﺽﺭﻌﺒ ﺢﺒﺼﻴﻟ ﺔﺤﻠﺴﻤﻟﺍ ﺕﺍﻭﻘﻟﺍ ﺭﻜﺴﻌﻤ (٦) ﻩﺎﺠﺘﺍ لﻜﺒ ﺕﺍﺭﺎﺤ . ) ( ﻰـﻀﺍﺭﻷﺍ ﻰﻠﻋ ﺭﺸﺎﺒﻤﻟﺍ ﺫﻴﻔﻨﺘﻟﺍ ﻕﻴﺭﻁﺒ ﻰﻟﻭﺘﺴﻴ ﺔـﻤﺯﻼﻟﺍ ﺕﺍﺭﺎـﻘﻌﻟﺍﻭ ﺫـﻴﻔﻨﺘﻟ ﻥﻴﻋﻭﺭﺸﻤﻟﺍ ﻬﻴﻟﺇ ﺭﺎﺸﻤﻟﺍ ﺎﻤ ﺀﺎﻤـﺴﺃﻭ ﺎﻫﺩﻭﺩـﺤﻭ ﺎـﻬﻌﻗﻭﻤ ﻥﻴﺒﻤﻟﺍﻭ ، ﺔﻘﺒﺎﺴﻟﺍ ﺓﺩﺎﻤﻟﺍ ﻰﻓ ﻀــﻴﻹﺍ ﺓﺭﻜﺫــﻤﻟﺎﺒ ﻥﻴﺭﻫﺎــﻅﻟﺍ ﺎــﻬﻜﻼﻤ ﺔﻴﺤﺎ ﺔــﻴﻟﺎﻤﺠﻹﺍ ﺔــﻴﻁﻴﻁﺨﺘﻟﺍ ﻡﻭــﺴﺭﻟﺍﻭ ﻥﻴﻘﻓﺭﻤﻟﺍ ﻥﻴﻔﺸﻜﻟﺍﻭ . )  ( ﺔﻴﻤـﺴﺭﻟﺍ ﺓﺩﻴﺭﺠﻟﺍ ﻰﻓ ﺭﺍﺭﻘﻟﺍ ﺍﺫﻫ ﺭﺸﻨﻴ . ﻰﻓ ﺀﺍﺭﺯﻭﻟﺍ ﺱﻠﺠﻤ ﺔﺴﺎﺌﺭﺒ ﺭﺩﺼ ٢٤ ﻰﻟﻭﻷﺍ ﻯﺩﺎﻤﺠ ﺔﻨﺴ ١٤٤٤ ـﻫ ) ﻕﻓﺍﻭﻤﻟﺍ ١٨ ﺭﺒﻤﺴﻴﺩ ﺔﻨﺴ ٢٠٢٢ ﻡ . ( ﺀﺍﺭﺯﻭﻟﺍ ﺱﻠﺠﻤ ﺱﻴﺌﺭ ﺭﻮﺘﻛﺩ / ﻣ ﱃﻮﺑﺪﻣ ﻝﺎﻤﻛ ﻰﻔﻄﺼ
ﺩﻴﻬﺸﻟﺍ ﺭﻭﺤﻤ ﻥﻤ ﺃﺩﺒﻴﻭ ، ﻡﻜ ﻡﺎﻤﺃ ﺩﻋﺎﺼﻟﺍ ﻕﻴﺭﻁﻟﺍ ﺔﻴﺎﻬﻨ
لوادتلادنعاهبدتعيلاةينورتكلإةروص ﺔﯿﻤﺳﺮﻟا ةﺪﯾﺮﺠﻟا –دﺪﻌﻟا٥٠ رﺮﻜﻣ ) أ ( ﻰﻓ ١٨ ﺮﺒﻤﺴﯾد ﺔﻨﺳ ٢٠٢٢ ٤ ﺓﺭﺍﺯﻭ ﺔﻴﻠﶈﺍ ﺔﻴﻤﻨﺘﻟﺍ ﺔﯿﺣﺎﻀﯾإ ةﺮﻛﺬﻣ ﺭﺍﺮﻗ ﻉﻭﺮﺸﳌ ءﺍﺭﺯﻮﻟﺍ ﺲﻠﳎ ﺲﻴﺋﺭ ﻡﻗﺭ ٤٤٩٩ ﺔﻨﺴﻟ ٢٠٢٢ ﻰﺘﻵﺍ ﺽﺭﻌﺒ ﻑﺭﺸﺘﺃ : ﻡـﻗﺭ ﺓﺭﻫﺎـﻘﻟﺍ ﺔﻅﻓﺎﺤﻤ ﺏﺎﺘﻜ ﺩﺭﻭ ٢٠٤٨٦ ﺥﺭﺅـﻤﻟﺍ ٢٠٢٢/١٠/١٧ ﻥﺄﺸـﺒ ﻉﺭﺍﻭﺸـﻟﺍﻭ ﺭﻭﺎـﺤﻤﻟﺍ ﻥﻤ ﺩﺩﻋ ﺭﻴﻭﻁﺘ ﻰﻠﻋ ﺔﻘﻓﺍﻭﻤﻟﺍ ﺔﻨﻤﻀﺘﻤﻟﺍﻭ ﺓﺭﺩﺎﺼﻟﺍ ﺕﺎﻬﻴﺠﻭﺘﻟﺍ ﻴﺌﺭﻟﺍ ﺔﻠﻘﻨ لﻤﻋ ﻙﻟﺫﻜﻭ ﺭﻭﺭﻤﻟﺍ ﺔﻜﺭﺤ لﻴﻬﺴﺘ ﻰﻓ ﻡﻫﺎﺴﺘ ﺔﻴﺭﺎﻀﺤ ﺔﻠﻘﻨ لﻤﻌﻟ ﻡﻁﻘﻤﻟﺎﺒ ﺔﻴﺴ ﻡﻁﻘﻤﻟﺍ ﺔﻘﻁﻨﻤ ﺔﻴﻤﻨﺘﻭ ﺭﻴﻭﻁﺘ ﻰﻓ . ﺩﺩـﻋ ﻰـﻠﻋ ﻡﺎـﻌﻟﺍ ﻊﻔﻨﻟﺍ ﺔﻔﺼ ﺭﻴﺭﻘﺘ ﻪﻴﻟﺇ ﺭﺎﺸﻤﻟﺍ ﺎﻬﺒﺎﺘﻜﺒ ﺓﺭﻫﺎﻘﻟﺍ ﺔﻅﻓﺎﺤﻤ ﺕﺒﻠﻁ ﻥﻤ لﻭﻁﺒ ﻕﺯﺭ ﺭﺴﺎﻴ ﺭﻭﺤﻤ ، ﻡﻁﻘﻤﻟﺍ ﺭﻭﺎﺤﻤ ٩ ﷲﺍ ﺏﺴـﺤ ﺭﻭﺤﻤ ﺔﻴﺎﻬﻨ ﻥﻤ ﺃﺩﺒﻴﻭ ﻡﻜ ﺏﻭﻨﺠ ﻯﻭﺍﺭﻔﻜﻟﺍ ﻷﺍ ﺔـﻌﻠﻘﻟﺍ ﻡﺎﻤﺃ ﻡﻟﺎﺴ ﺡﻼﺼ ﻰﺘﺤ ﺩﻋﺎﺼﻟﺍ ﻕﻴﺭﻁﻟﺍ ﻊﻤ ﻪﻴﻗﻼﺘﻭ ﺕﺍﺭﻤﺴ ﺽﺭﻌﺒ ٥ ﻉﺭﺎﺸ ﺔﻌﺴﻭﺘﻭ ﺭﻴﻭﻁﺘ ، ﻩﺎﺠﺘﺍ لﻜﺒ ﺕﺍﺭﺎﺤ ٩ لﻭﻁﺒ ٧ ﺭﻭـﺤﻤ ﻥﻤ ﺃﺩﺒﻴﻭ ﻡﻜ ﺩﻴﻤ ﻰﻟﺇ ﺩﻴﻬﺸﻟﺍ ﻪﺌﺎﻘﺘﻟﺍ ﻰﺘﺤ ﻩﺩﺍﺩﺘﻤﺍﻭ ﺓﺭﻭﻓﺎﻨﻟﺍ ﻥﺍ ﺔﻴﻨﻴﺼﻟﺍ ﻡﺎﻤﺃ ﺩﻋﺎﺼﻟﺍ ﻕﻴﺭﻁﻟﺍ ﺔﻴﺎﻬﻨ ﻊﻤ ﺽﺭﻌﺒ ﺢﺒﺼﻴﻟ ﺔﺤﻠﺴﻤﻟﺍ ﺕﺍﻭﻘﻟﺍ ﺭﻜﺴﻌﻤ ﻡﺎﻤﺃ ٦ ﺍﺭﺎﺤ ﺎـﻬﻴﻠﻋ ﺀﻼﻴﺘـﺴﻻﺍﻭ ﻩﺎﺠﺘﺍ لﻜﺒ ﺕ ﺎﻬﻴﻠﻋ ﺭﺸﺎﺒﻤﻟﺍ ﺫﻴﻔﻨﺘﻟﺍ ﻕﻴﺭﻁﺒ . ﺩﺩﻋ ﺔﻅﻓﺎﺤﻤﻟﺍ ﺏﺎﺘﻜﺒ ﺔﻘﻓﺭﻤﻟﺍ ﺓﺭﻜﺫﻤﻟﺍ ﺕﻨﻤﻀﺘ ﺙﻴﺤ ٢ ﻙﻼـﻤﻟﺍ ﺀﺎﻤـﺴﺄﺒ ﻑﺸﻜ ﻕـﻴﺭﻁﺒ ﺎـﻬﻴﻠﻋ ﺀﻼﻴﺘـﺴﻻﺍﻭ ﺎﻬﻟ ﻡﺎﻌﻟﺍ ﻊﻔﻨﻟﺍ ﺔﻔﺼ ﺀﺎﻔﻀﺇ ﺏﻭﻠﻁﻤﻟﺍ ﺽﺭﻸﻟ ﻥﻴﺭﻫﺎﻅﻟﺍ ﺭﺸﺎﺒﻤﻟﺍ ﺫﻴﻔﻨﺘﻟﺍ . ﻤﻟﺍ ﻉﻭﺭﺸﻤﻟﺎﺒ ﻰﻟﺎﻤﺠﺇ ﻁﻁﺨﻤ ﻕﺍﺭﻭﻷﺎﺒ ﻕﻓﺭﺃ ﺙﻴﺤ ﻪﺘﻤﺎﻗﺇ ﺏﻭﻠﻁ .

ﺔﻔﺼ ﺀﺎﻔﻀﻹ ﺔﻤﺯﻼﻟﺍ ﺀﻼﻴﺘـﺴﻻﺍﻭ ﺭﻜﺫـﻟﺍ ﺔﻔﻟﺎﺴ ﺕﺍﺭﺎﻘﻌﻟﺍ ﺭﺸﺎﺒﻤﻟﺍ ﺫﻴﻔﻨﺘﻟﺍ ﻕﻴﺭﻁﺒ ﺎﻬﻴﻠﻋ . ﻙﻟﺫﻟ .. ﻡـﻗﺭ ﻥﻭﻨﺎﻘﻟﺎﺒ ﺭﺩﺎﺼﻟﺍ ﺔﻴﻠﺤﻤﻟﺍ ﺓﺭﺍﺩﻹﺍ ﻡﺎﻅﻨ ﻥﻭﻨﺎﻗ ﻡﺎﻜﺤﻷ ﹰﻻﺎﻤﻋﺇﻭ ٤٣

لوادتلادنعاهبدتعيلاةينورتكلإةروص ﺔﯿﻤﺳﺮﻟا ةﺪﯾﺮﺠﻟا –دﺪﻌﻟا٥٠ رﺮﻜﻣ ) أ ( ﻰﻓ ١٨ ﺮﺒﻤﺴﯾد ﺔﻨﺳ ٢٠٢٢ ٥ ﺔـﻤﻴﻗ ﺭﻴﺩـﻘﺘ ﻡـﺘ ﻪـﻨﺄﺒ ﺓﺭﻫﺎـﻘﻟﺍ ﺔﻅﻓﺎﺤﻤ ﺏﺎﺘﻜﺒ ﺔﻘﻓﺭﻤﻟﺍ ﺓﺭﻜﺫﻤﻟﺍ ﺕﻨﻤﻀﺘ ﺎﻤﻜ ﻎﻠﺒﻤﺒ ﺎﻬﺘﻴﻜﻠﻤ ﻉﺯﻨ ﺏﻭﻠﻁﻤﻟﺍ ﺽﺭﻷﺍ ﺔﻌﻁﻗ ﻥﻋ ﺔﺒﻭﻠﻁﻤﻟﺍ ﺕﺎﻀﻴﻭﻌﺘﻟﺍ ١٣٠ ﻪﻴﻨﺠ ﻥﻭﻴﻠﻤ ) ﻪﻴﻨﺠ ﻥﻭﻴﻠﻤ ﻥﻭﺜﻼﺜﻭ ﺔﺌﺎﻤ ( ﺔـﻨﺠﻠﻟﺍ ﺔـﻓﺭﻌﻤﺒ ﻰﺌﺎﻬﻨﻟﺍ ﺭﻌﺴﻟﺍ ﺭﻴﺩﻘﺘ ﻥﻴﺤﻟ ﺔﻴﺌﺩﺒﻤ ﺔﻔﺼﺒ ﺔﻠﻜﺸﻤﻟﺍﻭ ﺕﺎﻀﻴﻭﻌﺘﻠﻟ ﺎﻴﻠﻌﻟﺍ ﻡﻗﺭ ﺓﺩﺎﻤﻠﻟ ﺎﹰﻘﺒﻁ ﻯﺭﻟﺍ ﺭﻴﺯﻭ ﺭﺍﺭﻘﺒ ٦ ﻡـﻗﺭ ﻥﻭﻨﺎـﻗ ﻥﻤ ١٠ ﺔﻨﺴﻟ ١٩٩٠ ﻪﺘﻼﻴﺩﻌﺘﻭ . ﺔﻴﺴـﻴﺌﺭﻟﺍ ﻉﺭﺍﻭﺸـﻟﺍﻭ ﺭﻭﺎـﺤﻤﻟﺍ ﻥﻤ ﺩﺩﻋ ﺔﻴﻜﻠﻤ ﻉﺯﻨ ﻉﻭﺭﺸﻤ ﺏﻠﻁ ﻥﺎﻜ ﺎﻤﻟﻭ ﺕﺍﺀﺍﺭـﺠﻹﺍ ﺫﺎـﺨﺘﺍ ﺏـﻠﻁﺘﻴ ﻯﺫﻟﺍ ﺭﻤﻷﺍ ، ﺔﻅﻓﺎﺤﻤﻟﺍ ﻰﻟﺎﻫﻷ ﺎﻤﺎﻋ ﺎﻌﻔﻨ ﻕﻘﺤﻴ ﻡﻁﻘﻤﻟﺎﺒ ﻭ ﻰﻀﺍﺭﻷﺍ ﻰﻠﻋ ﻡﺎﻌﻟﺍ ﻊﻔﻨﻟﺍ
ﺔﻨﺴﻟ ١٩٧٩ ﻨﺎﻘﻟﺍﻭ ﺔﻴﺫﻴﻔﻨﺘﻟﺍ ﻪﺘﺤﺌﻻﻭ ﻪﻟ ﺔﻟﺩﻌﻤﻟﺍ ﻥﻴﻨﺍﻭﻘﻟﺍﻭ ﻡﻗﺭ ﻥﻭ ١٠ ﺔﻨﺴﻟ ١٩٩٠ ﻥﺄﺸﺒ ﺘﺤﺌﻻﻭ ﺔﻤﺎﻌﻟﺍ ﺔﻌﻔﻨﻤﻠﻟ ﺕﺍﺭﺎﻘﻌﻟﺍ ﺔﻴﻜﻠﻤ ﻉﺯﻨ ﺔﻴﺫﻴﻔﻨﺘﻟﺍ ﻪ . ﺭﻤﻟﺍ ﺭﺍﺭﻘﻟﺍ ﻉﻭﺭﺸﻤ ﺩﻋﺃ ﺩﻘﻓ ﻕﻓﺍ . ﺔﻘﻓﺍﻭﻤﻟﺍ ﺔﻟﺎﺤ ﻰﻓ ﺀﺎﺠﺭﺒ . ﻩﺭﺍﺩﺼﺈﺒ ﻪﻴﺠﻭﺘﻟﺍ . ﺭﻴﺯﻭ ﺔﻴﻠﺤﻤﻟﺍ ﺔﻴﻤﻨﺘﻟﺍ ءﺍﻮﻟ / ﺔﻨﻣﺁ ﲎﻐﻟﺍ ﺪﺒﻋ ﻡﺎﺸﻫ
لوادتلادنعاهبدتعيلاةينورتكلإةروص ﺔﯿﻤﺳﺮﻟا ةﺪﯾﺮﺠﻟا –دﺪﻌﻟا٥٠ رﺮﻜﻣ ) أ ( ﻰﻓ ١٨ ﺮﺒﻤﺴﯾد ﺔﻨﺳ ٢٠٢٢ ٦
لوادتلادنعاهبدتعيلاةينورتكلإةروص ﺔﯿﻤﺳﺮﻟا ةﺪﯾﺮﺠﻟا –دﺪﻌﻟا٥٠ رﺮﻜﻣ ) أ ( ﻰﻓ ١٨ ﺮﺒﻤﺴﯾد ﺔﻨﺳ ٢٠٢٢ ٧
لوادتلادنعاهبدتعيلاةينورتكلإةروص ﺔﯿﻤﺳﺮﻟا ةﺪﯾﺮﺠﻟا –دﺪﻌﻟا٥٠ رﺮﻜﻣ ) أ ( ﻰﻓ ١٨ ﺮﺒﻤﺴﯾد ﺔﻨﺳ ٢٠٢٢ ٨
لوادتلادنعاهبدتعيلاةينورتكلإةروص ﺔﯿﻤﺳﺮﻟا ةﺪﯾﺮﺠﻟا –دﺪﻌﻟا٥٠ رﺮﻜﻣ ) أ ( ﻰﻓ ١٨ ﺮﺒﻤﺴﯾد ﺔﻨﺳ ٢٠٢٢ ٩
لوادتلادنعاهبدتعيلاةينورتكلإةروص ﺔﯿﻤﺳﺮﻟا ةﺪﯾﺮﺠﻟا –دﺪﻌﻟا٥٠ رﺮﻜﻣ ) أ ( ﻰﻓ ١٨ ﺮﺒﻤﺴﯾد ﺔﻨﺳ ٢٠٢٢ ١٠
لوادتلادنعاهبدتعيلاةينورتكلإةروص ﺔﯿﻤﺳﺮﻟا ةﺪﯾﺮﺠﻟا –دﺪﻌﻟا٥٠ رﺮﻜﻣ ) أ ( ﻰﻓ ١٨ ﺮﺒﻤﺴﯾد ﺔﻨﺳ ٢٠٢٢ ١١
لوادتلادنعاهبدتعيلاةينورتكلإةروص ﺔﯿﻤﺳﺮﻟا ةﺪﯾﺮﺠﻟا –دﺪﻌﻟا٥٠ رﺮﻜﻣ ) أ ( ﻰﻓ ١٨ ﺮﺒﻤﺴﯾد ﺔﻨﺳ ٢٠٢٢ ١٢
لوادتلادنعاهبدتعيلاةينورتكلإةروص ﺔﯿﻤﺳﺮﻟا ةﺪﯾﺮﺠﻟا –دﺪﻌﻟا٥٠ رﺮﻜﻣ ) أ ( ﻰﻓ ١٨ ﺮﺒﻤﺴﯾد ﺔﻨﺳ ٢٠٢٢ ١٣
لوادتلادنعاهبدتعيلاةينورتكلإةروص ﺔﯿﻤﺳﺮﻟا ةﺪﯾﺮﺠﻟا –دﺪﻌﻟا٥٠ رﺮﻜﻣ ) أ ( ﻰﻓ ١٨ ﺮﺒﻤﺴﯾد ﺔﻨﺳ ٢٠٢٢ ١٤
لوادتلادنعاهبدتعيلاةينورتكلإةروص ﺔﯿﻤﺳﺮﻟا ةﺪﯾﺮﺠﻟا –دﺪﻌﻟا٥٠ رﺮﻜﻣ ) أ ( ﻰﻓ ١٨ ﺮﺒﻤﺴﯾد ﺔﻨﺳ ٢٠٢٢ ١٥
لوادتلادنعاهبدتعيلاةينورتكلإةروص ﺔﯿﻤﺳﺮﻟا ةﺪﯾﺮﺠﻟا –دﺪﻌﻟا٥٠ رﺮﻜﻣ ) أ ( ﻰﻓ ١٨ ﺮﺒﻤﺴﯾد ﺔﻨﺳ ٢٠٢٢ ١٦
لوادتلادنعاهبدتعيلاةينورتكلإةروص ﺔﯿﻤﺳﺮﻟا ةﺪﯾﺮﺠﻟا –دﺪﻌﻟا٥٠ رﺮﻜﻣ ) أ ( ﻰﻓ ١٨ ﺮﺒﻤﺴﯾد ﺔﻨﺳ ٢٠٢٢ ١٧

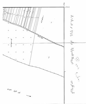
( ﺔﻌﻔﻨﻤﻟﺍ لﺎﻤﻋﺃ ﻥﻤ ﺭﺒﺘﻌﻴ ﺔﺤﺎﺴﻤ ﺔﻴﻜﻠﻤ ﻉﺯﻨ ﻉﻭﺭﺸﻤ ﺔﻤﺎﻌﻟﺍ ﻡ١٠٦٦٠)٢( ﺔﻌﻁﻗ ﻥﻤ ﻡﻗﺭ ﺽﺭﻷﺍ ٣٨٢ ﻕﺎـﻁﻨﺒ ﻯﺩﺎﻌﻤﻟﺍ ﺭﻭﻓﺭﺎﻜ ﺏﻭﻨﺠ ﺔﻨﺌﺎﻜﻟﺍ ، ﻡﺎﻤﺯﻟﺍ ﺝﺭﺎﺨ ﺭﺘﻓﺩﺒ لﺴﻠﺴﺘ ﻥﻴﺘﺎﺴﺒﻟﺍ

لوادتلادنعاهبدتعيلاةينورتكلإةروص ﺔﯿﻤﺳﺮﻟا ةﺪﯾﺮﺠﻟا –دﺪﻌﻟا٥٠ رﺮﻜﻣ ) أ ( ﻰﻓ ١٨ ﺮﺒﻤﺴﯾد ﺔﻨﺳ ٢٠٢٢ ١٨ ءﺍﺭﺯﻮﻟﺍ ﺲﻠﳎ ﺲﻴﺋﺭ ﺭﺍﺮﻗ ﻢﻗﺭ ٤٥٠٠ ﺔﻨﺴﻟ ٢٠٢٢ ءﺍﺭﺯﻮﻟﺍ ﺲﻠﳎ ﺲﻴﺋﺭ ؛ ﺭﻭﺘﺴﺩﻟﺍ ﻰﻠﻋ ﻉﻼﻁﻻﺍ ﺩﻌﺒ ﻰﻠﻋﻭ ﻥﻭﻨﺎﻗ ﻡـﻗﺭ ﻥﻭﻨﺎـﻘﻟﺎﺒ ﺭﺩﺎﺼـﻟﺍ ﺔﻴﻠﺤﻤﻟﺍ ﺓﺭﺍﺩﻹﺍ ﻡﺎﻅﻨ ٤٣ ﺔﻨﺴـﻟ ١٩٧٩ ﺔﻴﺫﻴﻔﻨﺘﻟﺍ ﻪﺘﺤﺌﻻﻭ ؛ ﻡﻗﺭ ﻥﻭﻨﺎﻘﻟﺍ ﻰﻠﻋﻭ ١٠ ﺔﻨﺴﻟ ١٩٩٠ ﺔـﻤﺎﻌﻟﺍ ﺔـﻌﻔﻨﻤﻠﻟ ﺕﺍﺭﺎﻘﻌﻟﺍ ﺔﻴﻜﻠﻤ ﻉﺯﻨ ﻥﺄﺸﺒ ؛ ﺔﻴﺫﻴﻔﻨﺘﻟﺍ ﻪﺘﺤﺌﻻﻭ ﻡﻗﺭ ﺔﻴﺭﻭﻬﻤﺠﻟﺍ ﺱﻴﺌﺭ ﺭﺍﺭﻗ ﻰﻠﻋﻭ ٢٧٩ ﺔﻨﺴﻟ ٢٠١٨ ؛ ﺕﺎﺼﺎﺼﺘﺨﻻﺍ ﺽﻌﺒ ﻰﻓ ﺽﻴﻭﻔﺘﻟﺎﺒ ﻪﻀﺭﻋ ﺎﻤ ﻰﻠﻋ ﺀﺎﻨﺒﻭ ؛ ﺔﻴﻠﺤﻤﻟﺍ ﺔﻴﻤﻨﺘﻟﺍ ﺭﻴﺯﻭ   ) 
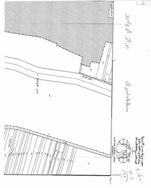
ﻰﺤ - ﺭﻴﻭﻁﺘ ﻉﻭﺭﺸﻤ ﺫﻴﻔﻨﺘﻟ ﺔﻤﺯﻼﻟﺍﻭ ، ﺓﺭﻫﺎﻘﻟﺍ ﺔﻅﻓﺎﺤﻤ لﺨﺩـﻤﻟﺍ ﺔﻌـﺴﻭﺘﻭ ﻯﺩﺎﻌﻤﻟﺍ ﺀﺍﺭﻫﺯ ﺔﻘﻁﻨﻤﻟ ﻰﻟﺎﻤﺸﻟﺍ . ) ( ﻰﻠﻋ ﺭﺸﺎﺒﻤﻟﺍ ﺫﻴﻔﻨﺘﻟﺍ ﻕﻴﺭﻁﺒ ﻰﻟﻭﺘﺴﻴ ﺔﺤﺎﺴﻤﻟﺍ ﺴـﻟﺍ ﺓﺩﺎﻤﻟﺍ ﻰﻓ ﺎﻬﻴﻟﺇ ﺭﺎﺸﻤﻟﺍ ، ﺔﻘﺒﺎ ﺍﻭ ﺎﻫﺩﻭﺩﺤﻭ ﺎﻬﻌﻗﻭﻤ ﻥﻴﺒﻤﻟﺍﻭ ﻡﺴ ﺭﻫﺎﻅﻟﺍ ﺎﻬﻜﻟﺎﻤ ﺔﻴﻁﻴﻁﺨﺘﻟﺍ ﻡﻭﺴﺭﻟﺍﻭ ﺔﻴﺤﺎﻀﻴﻹﺍ ﺓﺭﻜﺫﻤﻟﺎﺒ ﺔﻴﻟﺎﻤﺠﻹﺍ ﺕﺎﻴﺜﺍﺩﺤﻹﺍ لﻭﺩﺠﻭ ﻤﻟﺍ ﻥﻴﻔﺸﻜﻟﺍﻭ ﻥﻴﻘﻓﺭ . )  ( ﺔﻴﻤـﺴﺭﻟﺍ ﺓﺩﻴﺭﺠﻟﺍ ﻰﻓ ﺭﺍﺭﻘﻟﺍ ﺍﺫﻫ ﺭﺸﻨﻴ . ﻰﻓ ﺀﺍﺭﺯﻭﻟﺍ ﺱﻠﺠﻤ ﺔﺴﺎﺌﺭﺒ ﺭﺩﺼ ٢٤ ﻰﻟﻭﻷﺍ ﻯﺩﺎﻤﺠ ﺔﻨﺴ ١٤٤٤ ـﻫ ) ﻕﻓﺍﻭﻤﻟﺍ ١٨ ﺭﺒﻤﺴﻴﺩ ﺔﻨﺴ ٢٠٢٢ ﻡ . ( ﺀﺍﺭﺯﻭﻟﺍ ﺱﻠﺠﻤ ﺱﻴﺌﺭ ﺭﻮﺘﻛﺩ / ﱃﻮﺑﺪﻣ ﻝﺎﻤﻛ ﻰﻔﻄﺼﻣ

ﺓﺭﻫﺎﻘﻟﺍ ﺔﻅﻓﺎﺤﻤ ﺕﺒﻠﻁ ﺔـﻌﻁﻗ ﺎﻬﺘﺤﺎﺴــﻤ ﻎﻟﺎــﺒﻟﺍﻭ ﻯﺩﺎــﻌﻤﻟﺍ ﺭﻭﻓﺭﺎــﻜ ﺏﻭــﻨﺠﺒ ﺔــﻨﺌﺎﻜ ﺽﺭﺃ ﻡ١٠٦٦٠٢ ﻥﻴﺘﺎﺴــﺒﻟﺍ ﻰــﺤ ﻕﺎــﻁﻨﺒﺓﺭﻫﺎﻘﻟﺍ ﺔﻅﻓﺎﺤﻤ . ﺕﻨﻤﻀﺘ ﺙﻴﺤ ﻜﺒ ﺔﻘﻓﺭﻤﻟﺍ

لوادتلادنعاهبدتعيلاةينورتكلإةروص ﺔﯿﻤﺳﺮﻟا ةﺪﯾﺮﺠﻟا –دﺪﻌﻟا٥٠ رﺮﻜﻣ ) أ ( ﻰﻓ ١٨ ﺮﺒﻤﺴﯾد ﺔﻨﺳ ٢٠٢٢ ١٩ ﺔﻴﻠﶈﺍ ﺔﻴﻤﻨﺘﻟﺍ ﺓﺭﺍﺯﻭ ةﺮﻛﺬﻣ ﺔﯿﺣﺎﻀﯾإ ءﺍﺭﺯﻮﻟﺍ ﺲﻠﳎ ﺲﻴﺋﺭ ﺭﺍﺮﻗ ﻉﻭﺮﺸﳌ ﻡﻗﺭ ٤٥٠٠ ﺔﻨﺴﻟ ٢٠٢٢ ﻰﺘﻵﺍ ﺽﺭﻌﺒ ﻑﺭﺸﺘﺃ : ﻡـﻗﺭ ﺓﺭﻫﺎـﻘﻟﺍ ﺔـﻅﻓﺎﺤﻤ ﺏﺎﺘﻜ ﺩﺭﻭ ٢٠٣٨٧ ﺥﺭﺅـﻤﻟﺍ ٢٠٢٢/١٠/٤ ﻥﺄﺸـﺒ ﺭﻴﻭﻁﺘ ﻰﻠﻋ ﺔﻘﻓﺍﻭﻤﻟﺍ ﺔﻨﻤﻀﺘﻤﻟﺍﻭ ﺓﺭﺩﺎﺼﻟﺍ ﺕﺎﻬﻴﺠﻭﺘﻟﺍ ﺔﻘﻁﻨﻤﻟ ﻰﻟﺎﻤﺸﻟﺍ لﺨﺩﻤﻟﺍ ﺔﻌﺴﻭﺘﻭ ﺽﺭﻌﺒ ﺢﺒﺼﻴﻟ ﻯﺩﺎﻌﻤﻟﺍ ﺀﺍﺭﻫﺯ ٤ ﺕﺍﺭﺎﺤ ﺠﺘﺍ لﻜﻟ ﺔﻴﺭﻭﺭﻤ ﺔﺤﺎﺴـﻤ ﻉﺎﻁﻘﺘـﺴﺍ ﻊـﻤ ﻩﺎ ﻰﻟﺍﻭﺤ ﻡ١٠٨٠٠٢ ﻯﺩﺎﻌﻤﻟﺍ ﺭﻭﻓﺭﺎﻜ
ﻰـﻠﻋ
ﺓﺭﻜﺫﻤﻟﺍ ﹰﻔﺸـﻜ ﺔﻅﻓﺎﺤﻤﻟﺍ ﺏﺎﺘ ﺎﺒ ﺎ ﺭﻫﺎـﻅﻟﺍ ﻙـﻟﺎﻤﻟﺍ ﻡـﺴ ) ﺔﻴﺭﺎﻘﻌﻟﺍ ﻡﻴﻁﻔﻟﺍ ﺩﺠﺎﻤ ﺔﻜﺭﺸ ( ﺽﺭﻸﻟ ﺀﻼﻴﺘﺴﻻﺍﻭ ﺎﻬﻟ ﻡﺎﻌﻟﺍ ﻊﻔﻨﻟﺍ ﺔﻔﺼ ﺀﺎﻔﻀﺇ ﺏﻭﻠﻁﻤﻟﺍ ﺭﺸﺎﺒﻤﻟﺍ ﺫﻴﻔﻨﺘﻟﺍ ﻕﻴﺭﻁﺒ ﺎﻬﻴﻠﻋ . ﻪﺘﻤﺎﻗﺇ ﺏﻭﻠﻁﻤﻟﺍ ﻉﻭﺭﺸﻤﻟﺎﺒ ﻰﻟﺎﻤﺠﺇ ﻁﻁﺨﻤ ﻕﺍﺭﻭﻷﺎﺒ ﻕﻓﺭﺃ ﺙﻴﺤ . ـﺘ ﻪـﻨﺄﺒ ﺓﺭﻫﺎـﻘﻟﺍ ﺔﻅﻓﺎﺤﻤ ﺏﺎﺘﻜﺒ ﺔﻘﻓﺭﻤﻟﺍ ﺓﺭﻜﺫﻤﻟﺍ ﺕﻨﻤﻀﺘ ﺎﻤﻜ ﺔـﻤﻴﻗ ﺭﻴﺩـﻘﺘ ﻡ ﻎﻠﺒﻤﺒ ﺎﻬﺘﻴﻜﻠﻤ ﻉﺯﻨ ﺏﻭﻠﻁﻤﻟﺍ ﺽﺭﻷﺍ ﺔﻌﻁﻗ ﻥﻋ ﺔﺒﻭﻠﻁﻤﻟﺍ ﺕﺎﻀﻴﻭﻌﺘﻟﺍ ١٠٠ ﻪﻴﻨﺠ ﻥﻭﻴﻠﻤ ) ﻪﻴﻨﺠ ﻥﻭﻴﻠﻤ ﺔﺌﺎﻤ ( ﺎـﻴﻠﻌﻟﺍ ﺔـﻨﺠﻠﻟﺍ ﺔـﻓﺭﻌﻤﺒ ﻰﺌﺎـﻬﻨﻟﺍ ﺭﻌﺴﻟﺍ ﺭﻴﺩﻘﺘ ﻥﻴﺤﻟ ﺔﻴﺌﺩﺒﻤ ﺔﻔﺼﺒ ﻡـﻗﺭ ﺓﺩﺎـﻤﻠﻟ ﺎﹰﻘﺒﻁ ﻯﺭﻟﺍ ﺭﻴﺯﻭ ﺭﺍﺭﻘﺒ ﺔﻠﻜﺸﻤﻟﺍﻭ ﺕﺎﻀﻴﻭﻌﺘﻠﻟ ٦ ﻡـﻗﺭ ﻥﻭﻨﺎـﻗ ﻥـﻤ ١٠ ﺔﻨﺴﻟ ١٩٩٠ ﻪﺘﻼﻴﺩﻌﺘﻭ .
ﺏﻭﻨﺠ ﺽﺭﻷﺍ ﻥﻤ .
ﻡﺎﻌﻟﺍ ﻊﻔﻨﻟﺍ ﺔﻔﺼ ﺭﻴﺭﻘﺘ ﻪﻴﻟﺇ ﺭﺎﺸﻤﻟﺍ ﺎﻬﺒﺎﺘﻜﺒ
لوادتلادنعاهبدتعيلاةينورتكلإةروص ﺔﯿﻤﺳﺮﻟا ةﺪﯾﺮﺠﻟا –دﺪﻌﻟا٥٠ رﺮﻜﻣ ) أ ( ﻰﻓ ١٨ ﺮﺒﻤﺴﯾد ﺔﻨﺳ ٢٠٢٢ ٢٠ ﻭ ﺔﻴﻜﻠﻤ ﻉﺯﻨ ﻉﻭﺭﺸﻤ ﺏﻠﻁ ﻥﺎﻜ ﺎﻤﻟ ﻯﺩﺎﻌﻤﻟﺍ ﺭﻭﻓﺭﺎﻜ ﺏﻭﻨﺠﺒ ﺔﻨﺌﺎﻜﻟﺍ ﺽﺭﺃ ﺔﻌﻁﻗ ﺎﻬﺘﺤﺎﺴﻤ ﻎﻟﺎﺒﻟﺍﻭ ٢ﻡ١٠٦٦٠ ﻥﻴﺘﺎﺴﺒﻟﺍ ﻰﺤ ﻕﺎﻁﻨﺒ - ﺎـﻤﺎﻋ ﺎﻌﻔﻨ ﻕﻘﺤﻴ ﺓﺭﻫﺎﻘﻟﺍ ﺔﻅﻓﺎﺤﻤ ﻊـﻔﻨﻟﺍ ﺔﻔـﺼ ﺀﺎﻔﻀﻹ ﺔﻤﺯﻼﻟﺍ ﺕﺍﺀﺍﺭﺠﻹﺍ ﺫﺎﺨﺘﺍ ﺏﻠﻁﺘﻴ ﻯﺫﻟﺍ ﺭﻤﻷﺍ ، ﺔﻅﻓﺎﺤﻤﻟﺍ ﻰﻟﺎﻫﻷ ﻰﻀﺍﺭﻷﺍ ﻰﻠﻋ ﻡﺎﻌﻟﺍ ﺭﺸﺎﺒﻤﻟﺍ ﺫﻴﻔﻨﺘﻟﺍ ﻕﻴﺭﻁﺒ ﺎﻬﻴﻠﻋ ﺀﻼﻴﺘﺴﻻﺍﻭ ﺭﻜﺫﻟﺍ ﺔﻔﻟﺎﺴ . ﻙﻟﺫﻟ .. ﻡـﻗﺭ ﻥﻭﻨﺎﻘﻟﺎﺒ ﺭﺩﺎﺼﻟﺍ ﺔﻴﻠﺤﻤﻟﺍ ﺓﺭﺍﺩﻹﺍ ﻡﺎﻅﻨ ﻥﻭﻨﺎﻗ ﻡﺎﻜﺤﻷ ﹰﻻﺎﻤﻋﺇﻭ ٤٣ ﺔﻨﺴﻟ ١٩٧٩ ﻨﺎﻘﻟﺍﻭ ﺔﻴﺫﻴﻔﻨﺘﻟﺍ ﻪﺘﺤﺌﻻﻭ ﻪﻟ ﺔﻟﺩﻌﻤﻟﺍ ﻥﻴﻨﺍﻭﻘﻟﺍﻭ ﻡﻗﺭ ﻥﻭ ١٠ ﺔﻨﺴﻟ ١٩٩٠ ﻥﺄﺸﺒ ﻴﻔﻨﺘﻟﺍ ﻪﺘﺤﺌﻻﻭ ﺔﻤﺎﻌﻟﺍ ﺔﻌﻔﻨﻤﻠﻟ ﺕﺍﺭﺎﻘﻌﻟﺍ ﺔﻴﻜﻠﻤ ﻉﺯﻨ ﺔﻴﺫ . ﺭﻤﻟﺍ ﺭﺍﺭﻘﻟﺍ ﻉﻭﺭﺸﻤ ﺩﻋﺃ ﺩﻘﻓ ﻕﻓﺍ . ﺔﻘﻓﺍﻭﻤﻟﺍ ﺔﻟﺎﺤ ﻰﻓ ﺀﺎﺠﺭﺒ . ﻩﺭﺍﺩﺼﺈﺒ ﻪﻴﺠﻭﺘﻟﺍ . ﺔﻴﻠﺤﻤﻟﺍ ﺔﻴﻤﻨﺘﻟﺍ ﺭﻴﺯﻭ ءﺍﻮﻟ / ﺔﻨﻣﺁ ﲎﻐﻟﺍ ﺪﺒﻋ ﻡﺎﺸﻫ
لوادتلادنعاهبدتعيلاةينورتكلإةروص ﺔﯿﻤﺳﺮﻟا ةﺪﯾﺮﺠﻟا –دﺪﻌﻟا٥٠ رﺮﻜﻣ ) أ ( ﻰﻓ ١٨ ﺮﺒﻤﺴﯾد ﺔﻨﺳ ٢٠٢٢ ٢١
لوادتلادنعاهبدتعيلاةينورتكلإةروص ﺔﯿﻤﺳﺮﻟا ةﺪﯾﺮﺠﻟا –دﺪﻌﻟا٥٠ رﺮﻜﻣ ) أ ( ﻰﻓ ١٨ ﺮﺒﻤﺴﯾد ﺔﻨﺳ ٢٠٢٢ ٢٢
لوادتلادنعاهبدتعيلاةينورتكلإةروص ﺔﯿﻤﺳﺮﻟا ةﺪﯾﺮﺠﻟا –دﺪﻌﻟا٥٠ رﺮﻜﻣ ) أ ( ﻰﻓ ١٨ ﺮﺒﻤﺴﯾد ﺔﻨﺳ ٢٠٢٢ ٢٣
لوادتلادنعاهبدتعيلاةينورتكلإةروص ﺔﯿﻤﺳﺮﻟا ةﺪﯾﺮﺠﻟا –دﺪﻌﻟا٥٠ رﺮﻜﻣ ) أ ( ﻰﻓ ١٨ ﺮﺒﻤﺴﯾد ﺔﻨﺳ ٢٠٢٢ ٢٤
لوادتلادنعاهبدتعيلاةينورتكلإةروص ﺔﯿﻤﺳﺮﻟا ةﺪﯾﺮﺠﻟا –دﺪﻌﻟا٥٠ رﺮﻜﻣ ) أ ( ﻰﻓ ١٨ ﺮﺒﻤﺴﯾد ﺔﻨﺳ ٢٠٢٢ ٢٥
لوادتلادنعاهبدتعيلاةينورتكلإةروص ﺔﯿﻤﺳﺮﻟا ةﺪﯾﺮﺠﻟا –دﺪﻌﻟا٥٠ رﺮﻜﻣ ) أ ( ﻰﻓ ١٨ ﺮﺒﻤﺴﯾد ﺔﻨﺳ ٢٠٢٢ ٢٦ ءﺍﺭﺯﻮﻟﺍ ﺲﻠﳎ ﺲﻴﺋﺭ ﺭﺍﺮﻗ ﻢﻗﺭ ٤٥٠١ ﺔﻨﺴﻟ ٢٠٢٢ ءﺍﺭﺯﻮﻟﺍ ﺲﻠﳎ ﺲﻴﺋﺭ ؛ ﺭﻭﺘﺴﺩﻟﺍ ﻰﻠﻋ ﻉﻼﻁﻻﺍ ﺩﻌﺒ ﻰﻠﻋﻭ ﻥﻭﻨﺎﻗ ﺔﻴﻠﺤﻤﻟﺍ ﺓﺭﺍﺩﻹﺍ ﻡﺎﻅﻨ ﻡـﻗﺭ ﻥﻭﻨﺎـﻘﻟﺎﺒ ﺭﺩﺎﺼـﻟﺍ ٤٣ ﺔﻨﺴـﻟ ١٩٧٩ ﺔﻴﺫﻴﻔﻨﺘﻟﺍ ﻪﺘﺤﺌﻻﻭ ؛ ﻡﻗﺭ ﻥﻭﻨﺎﻘﻟﺍ ﻰﻠﻋﻭ ١٠ ﺔﻨﺴﻟ ١٩٩٠ ﺔـﻤﺎﻌﻟﺍ ﺔـﻌﻔﻨﻤﻠﻟ ﺕﺍﺭﺎﻘﻌﻟﺍ ﺔﻴﻜﻠﻤ ﻉﺯﻨ ﻥﺄﺸﺒ ؛ ﺔﻴﺫﻴﻔﻨﺘﻟﺍ ﻪﺘﺤﺌﻻﻭ ﻡﻗﺭ ﻥﻭﻨﺎﻘﻟﺎﺒ ﺭﺩﺎﺼﻟﺍ ﻯﺭﻟﺍﻭ ﺔﻴﺌﺎﻤﻟﺍ ﺩﺭﺍﻭﻤﻟﺍ ﻥﻭﻨﺎﻗ ﻰﻠﻋﻭ ١٤٧ ﺔﻨﺴﻟ ٢٠٢١ ؛ ﻴﺌﺭ ﺭﺍﺭﻗ ﻰﻠﻋﻭ ﻡﻗﺭ ﺔﻴﺭﻭﻬﻤﺠﻟﺍ ﺱ ٥٧٧ ﺔﻨﺴﻟ ٢٠١٧ ﺎﺒ ﺀﺎﺸـﻨﺇ ﻉﻭﺭﺸـﻤ ﺭﺎـﺒﺘﻋ ﺱﺭﺎﻓ ﺔﻴﺭﻘﺒ ﺔﻌﻁﺎﻗ ﻑﺭﺎﺼﻤ - ـﻌﻔﻨﻤﻟﺍ لﺎـﻤﻋﺃ ﻥﻤ ﻥﺍﻭﺴﺃ ﺔﻅﻓﺎﺤﻤﺒ ﻭﺒﻤﺃ ﻡﻭﻜ ﺯﻜﺭﻤ ﺔ ؛ ﺔﻤﺎﻌﻟﺍ ﻡﻗﺭ ﺔﻴﺭﻭﻬﻤﺠﻟﺍ ﺱﻴﺌﺭ ﺭﺍﺭﻗ ﻰﻠﻋﻭ ٢٧٩ ﺔﻨﺴﻟ ٢٠١٨ ؛ ﺕﺎﺼﺎﺼﺘﺨﻻﺍ ﺽﻌﺒ ﻰﻓ ﺽﻴﻭﻔﺘﻟﺎﺒ ؛ ﻯﺭﻟﺍﻭ ﺔﻴﺌﺎﻤﻟﺍ ﺩﺭﺍﻭﻤﻟﺍ ﺭﻴﺯﻭ ﻪﻀﺭﻋ ﺎﻤ ﻰﻠﻋ ﺀﺎﻨﺒﻭ   ) ( ﻥﻤ ﺭﺒﺘﻌﻴ ﻥﻴﻌﻁﺎـﻘﻟﺍ ﻥﻴﻓﺭﺼﻤﻟﺍ ﺭﺎﺴﻤ ﺀﺎﺸﻨﺇ ﻉﻭﺭﺸﻤ ﺔﻤﺎﻌﻟﺍ ﺔﻌﻔﻨﻤﻟﺍ لﺎﻤﻋﺃ (٣،٢) ﺱﺭﺎﻓ ﺔﻴﺭﻘﺒ - ﻭﺒﻤﺃ ﻡﻭﻜ ﺯﻜﺭﻤ - ﺢـﻀﻭﻤﻟﺍ ﻭـﺤﻨﻟﺍ ﻰـﻠﻋ ﻙـﻟﺫﻭ ، ﻥﺍﻭﺴﺃ ﺔﻅﻓﺎﺤﻤ ﺔﻘﻓﺭﻤﻟﺍ ﻥﻴﺭﻫﺎﻅﻟﺍ ﻙﻼﻤﻟﺍ ﻑﻭﺸﻜﻭ ﻰﻟﺎﻤﺠﻹﺍ ﻰﻁﻴﻁﺨﺘﻟﺍ ﻡﺴﺭﻟﺍﻭ ﺓﺭﻜﺫﻤﻟﺎﺒ . ) ( ﺔﻴﻤـﺴﺭﻟﺍ ﺓﺩﻴﺭﺠﻟﺍ ﻰﻓ ﺭﺍﺭﻘﻟﺍ ﺍﺫﻫ ﺭﺸﻨﻴ . ﺭﺩﺼ ﻰﻓ ﺀﺍﺭﺯﻭﻟﺍ ﺱﻠﺠﻤ ﺔﺴﺎﺌﺭﺒ ٢٤ ﻰﻟﻭﻷﺍ ﻯﺩﺎﻤﺠ ﺔﻨﺴ ١٤٤٤ ـﻫ ) ﻕﻓﺍﻭﻤﻟﺍ ١٨ ﺭﺒﻤﺴﻴﺩ ﺔﻨﺴ ٢٠٢٢ ﻡ . ( ﺀﺍﺭﺯﻭﻟﺍ ﺱﻠﺠﻤ ﺱﻴﺌﺭ ﺭﻮﺘﻛﺩ / ﱃﻮﺑﺪﻣ ﻝﺎﻤﻛ ﻰﻔﻄﺼﻣ

ﺔﻠﺘﻜﻟﺍ لﺨﺍﺩ ﺢﺸﺭﻟﺍ ١٠٠+) (ﺭـﺘﻤ ﺕﺩﺍﺯﻭ ﻨﺘﻟﺍ لﺎﻤﻋﺃ ﺏﺒﺴﺒ ﺎﻀﻴﺃ

ﺕﺎﻘﺒﻁ ﺔﻗﺭﺘﺨﻤ ﻥﺍﺯﺨﻭ ﺔﺒﺭﺘﻟﺍ ﺔﺒﺭﺘﻟﺍ ﺢﻁﺴ ﻰﻠﻋ ﻩﺎﻴﻤﻟﺍ

ﻡﺎـﻤﺯﺒ ﺔﻋﺭﺯﻨﻤﻟﺍ لﻴﺼﺎﺤﻤﻟﺍ ﻥﻤ ﻰﻋﺍﺭﺯﻟﺍ ﺞﺘﺎﻨﻟﺍ ﻥﻤ ﺓﺩﺎﻔﺘﺴﻻﺍ

لوادتلادنعاهبدتعيلاةينورتكلإةروص ﺔﯿﻤﺳﺮﻟا ةﺪﯾﺮﺠﻟا –دﺪﻌﻟا٥٠ رﺮﻜﻣ ) أ ( ﻰﻓ ١٨ ﺮﺒﻤﺴﯾد ﺔﻨﺳ ٢٠٢٢ ٢٧ ةﺮﻛﺬﻣ صﻮﺼﺨﺑ ﺭﺍﺮﻗ ﺢﺷﺮﻠﻟ ﺔﻌﻃﺎﻘﻟﺍ ﻑﺭﺎﺼﳌﺍ ءﺎﺸﻧﺇ ﻉﻭﺮﺸﳌ ﺔﻣﺎﻌﻟﺍ ﺔﻌﻔﻨﳌﺍ ﺱﺭﺎﻓ ﺔﻴﺭﻘﺒ - ﻭﺒﻤﺃ ﻡﻭﻜ ﺯﻜﺭﻤ - ﻥﺍﻭﺴﺃ ﺔﻅﻓﺎﺤﻤ ﹰﻻﻭﺃ - ﻉﻭﺭﺸﻤﻟﺍ ﻥﻤ ﻑﺩﻬﻟﺍ : ﻊﺴﻭﺘﻠﻟ ﺍﺭﻅﻨ ﺱﺭﺎـﻓ ﺔﻴﺭﻘﺒ لﻴﻨﻟﺍ ﺏﺭﻏ ﺔﺤﻠﺼﺘﺴﻤﻟﺍ ﻰﻀﺍﺭﻷﺍ ﻰﻓ ﻰﻋﺍﺭﺯﻟﺍﻡﻭﻜ ﺯﻜﺭﻤ ﻭﺒﻤﺃ - ﻁ ﺕﺍﺫﻭ ﺔﻌﻔﺘﺭﻤ ﻕﻁﺎﻨﻤ ﻰﻓ ﻊﻘﺘ ﻰﺘﻟﺍﻭ ﻥﺍﻭﺴﺃ ﺔـﻴﺫﺎﻔﻨﻭ ﺔـﻴﻠﻤﺭ ﺔﻌﻴﺒ ﺇ ﺙﻴﺤ ، ﺔﻴﻟﺎﻋ ﻤﻐﻟﺎﺒ ﻯﻭﺭﺘ ﻰﻀﺍﺭﻷﺍ ﻩﺫﻫ ﻥ ﺭ ﻰﻟﺍﻭﺤ ﺎﻬﺒﻭﺴﻨﻤﻭ + ) ١٢٠ ﺭﺘﻤ ( ﺩﻘﻓ ، ﺭﺭﻀﺘ ﺏﻭﺴﻨﻤ ﺩﻨﻋ ﻊﻘﺘ ﻰﺘﻟﺍﻭ ﺔﻤﻴﺩﻘﻟﺍ ﻰﻀﺍﺭﻷﺍ ﺕ ٨٥+) (ﺭﺘﻤ ﻩﺎـﻴﻤ ﺕﺭـﻬﻅ ﻙﻟﺫﻜﻭ ﺏﻭﺴـﻨﻤ
ﺔﻴﻨﻜﺴﻟﺍ
ﻰﺘﻟﺍﻭ ﺔﻴﺭﻘﻠﻟ
لﻭﺭﺘﺒﻟﺍ ﺓﺭﻴﺒﻜ ﻕﺎﻤﻋﺃ ﻰﻠﻋ ﺽﺭﻷﺍ ﻥﻁﺎﺒ ﻰﻓ ﺕﺍﺭﻴﺠﻔﺘ ﺎﻬﺘﺒﺤﺎﺼ
ﻥﻤ ﺓﺭﻴﺒﻜ ﺕﺎﻴﻤﻜ ﺭﻭﻬﻅ ﻰﻟﺇ ﻯﺩﺃ ﺎﻤﻤ ﻰﻓﻭﺠﻟﺍ ﻩﺎﻴﻤﻟﺍ . ﺔـﻴﺭﻘﻟﺍ
ﻡﻴﻅﻌﺘﻟﻭ ﻰﻟﺍﻭﺤ
٦٠٠٠ ﻥﺍﺩﻓ
ﻡﻴﺩﻘﻟﺍ
ﻰﻀﺍﺭﺃ ﻥﺍﺩﻓ - ٣٠٠٠ ﻰﻀﺍﺭﺃ ﻥﺍﺩﻓ ﻅﻟﺎﺒ ﺩﻴﺩﺠ ﺡﻼﺼﺘﺴﺍ ﺔﻴﺭﻘﻠﻟ ﻯﻭﺍﺭﺤﺼﻟﺍ ﺭﻴﻬ ( ﺔﻴﻋﺍﺭﺯﻟﺍ ﺔﻌﻗﺭﻟﺍ ﻰﻓ ﻊﺴﻭﺘﻟﺍ ﺓﺩﺎﻴﺯﻟ ﺎﻀﻴﺃﻭ ﺱﺭﺎــﻓ ﺔــﻴﺭﻘﺒ ﻯﻭﺍﺭﺤﺼــﻟﺍ ﺭﻴﻬﻅﻟﺎــﺒ لــﻴﻨﻟﺍ ﺭــﻬﻨ ﺏﺭــﻏ - ﺯــﻜﺭﻤ ﻡﻭــﻜ ﻭــﺒﻤﺃ - ﻥﺍﻭــﺴﺃ ﺔــﻅﻓﺎﺤﻤ ﻰـﻀﺍﺭﻷﺍ ﺏﻴـﺴﺎﻨﻤ ﻥﻤ ﻰﻠﻋﺃ ﺏﻴﺴﺎﻨﻤ ﻰﻓ ﺎﻬﺤﻼﺼﺘﺴﺍ ﻡﺘ ﻰﺘﻟﺍ ﻰﻀﺍﺭﻷﺍ ﻩﺫﻫ ﻥﻭﻜﻟﻭ ﻷﺍ ﺀﺎﻤﻟﺍ ﻯﻭﺘﺴﻤ ﻉﺎﻔﺘﺭﺍ ﻥﻤ ﺎﻬﻨﻴﺤ ﺙﺩﺤ ﺎﻤﻟ ﺔﺠﻴﺘﻨﻭ ﺔﻤﻴﺩﻘﻟﺍ ﻰـﻀﺍﺭﻷﺎﺒﻭ ﺔﻴﺭﻘﻟﺎﺒ ﻰﻀﺭ ﺍ ﺔﻴﻋﺍﺭﺯﻟﺍ ﺍﻭ ﺔﺒﺭﺘﻟﺍ ﺹﺍﻭﺨ ﺕﺭﻭﻫﺩﺘ ﺩﻘﻓ ﺔﻤﻴﺩﻘﻟ ﻰﻀﺍﺭﻷﺍ ﻩﺫﻬﺒ ﻥﺍﺩﻔﻟﺍ ﺔﻴﺠﺎﺘﻨﺇ ﺽﻔﺨﻨ . لﻭﻁ ﻰﻟﺎﻤﺠﺈﺒﻭ ، ﻥﻴﻌﻁﺎﻗ ﻥﻴﻓﺭﺼﻤ ﺀﺎﺸﻨﺇ ﺭﻤﻷﺍ ﺏﻠﻁﺘ ﺩﻘﻓ ﺍﺫﻟ ٦,١٠٠ ﺭﺘﻤ ﻭﻠﻴﻜ ﻰﻟﺎﺘﻟﺎﻜ ﻰﻫﻭ : ﻡﻗﺭ ﻊﻁﺎﻘﻟﺍ ﻑﺭﺼﻤﻟﺍ (٢) لﻭﻁﺒ ٣,٧٥٠ ﺔﻴﺭﻘﻟﺍ ﺏﻭﻨﺠ ﻥﻤ ﺩﺘﻤﻴ ﻭﻫﻭ ﺭﺘﻤ ﻭﻠﻴﻜ ﺍﺭﻭﺭﻤﻭ ﻭﻠﻴﻜﻟﺍ ﺩﻨﻋ ﺭﺴﻴﻷﺍ ﺭﺒﻟﺎﺒ لﻴﻨﻟﺍ ﺭﻬﻨ ﻰﻠﻋ ﺏﺼﻴ ﻡﺜ ﺎﻬﺒ ٧٤,٠٠ ﻡﻗﺭ ﻊﻁﺎﻘﻟﺍ ﻑﺭﺼﻤﻟﺍ (٣) لﻭﻁﺒ ٢,٣٥٠ ﺔـﻴﺭﻘﻟﺍ لﺎﻤﺸ ﻥﻤ ﺩﺘﻤﻴ ﻭﻫﻭ ﺭﺘﻤ ﻭﻠﻴﻜ ﻡﻗﺭ ﻊﻁﺎﻘﻟﺍ ﻑﺭﺼﻤﻟﺍ ﻰﻠﻋ ﺏﺼﻴ ﻡﺜ (٢) ﻭﻠﻴﻜﻟﺍ ﺩﻨﻋ ﺭﺴﻴﻷﺍ ﺭﺒﻟﺎﺒ ٠,٨٣٠
ﺩـﻨﻋ ﻊﻘﺘ ﻰﺘﻟﺍﻭ ﺔﻴﺭﻘﻠﻟ
ﺔﻠﻜﺸﻤﻟﺍ ﺏﻴﻘ ﻥﻋ
ﻯﻭﺍﺭﺤﺼﻟﺍ ﺭﻴﻬﻅﻟﺍ ﻰﻓ
ﻎﻟﺎﺒﻟﺍ
٣٠٠٠)
ﻯﺩﺍﻭﻟﺎﺒ

١,٩٥ ﺭﺘﻤ ﺔﺒﺘﺭ) (٢ ﻭﻠﻴﻜﻟﺍ ﺩﻨﻋ ٠,٩٥٠ ﺩﺩﻋ / ٦ (ﺔﺘﺴ) ﺭﻁﻗ ﺭﻴﺴﺍﻭﻤ ﻯﺭﺎﺒﻜ ﻡ١,٩٥ ﺔﺒﺘﺭ) (٢ ﻊﻁﺎـﻘﻟﺍ ﻑﺭﺼﻤﻟﺍ ﻰﻠﻋ ﻡﻗﺭ ٢) . ( ﺩﺩﻋ / ٣ (ﺔﺜﻼﺜ) ﺭﻁﻗ ﺭﻴﺴﺍﻭﻤ ﻯﺭﺒﻭﻜ ١,٩٥ ﻡﻗﺭ ﻊﻁﺎﻘﻟﺍ ﻑﺭﺼﻤﻟﺍ ﻰﻠﻋ ﻡ ٣) . ( ﻡﻗﺭ ﻊﻁﺎﻘﻟﺍ ﻑﺭﺼﻤﻟﺍ ﻰﻠﻋ ﺕﻻﺍﺩﺒ (٢) ﻊﻁﺎﻘﻟﺍﻭ ﻡﻗﺭ ٣) . ( ﺭﻁﻗ ﺔﺤﻠﺴﻤ ﺔﻨﺎﺴﺭﺨ

لوادتلادنعاهبدتعيلاةينورتكلإةروص ﺔﯿﻤﺳﺮﻟا ةﺪﯾﺮﺠﻟا –دﺪﻌﻟا٥٠ رﺮﻜﻣ ) أ ( ﻰﻓ ١٨ ﺮﺒﻤﺴﯾد ﺔﻨﺳ ٢٠٢٢ ٢٨ ﺎﻴﻨﺎﺜ - ﻉﻭﺭﺸﻤﻟﺍ ﺕﺎﻨﻭﻜﻤ : ) (ﺃ ﺔﻴﺒﺍﺭﺘﻟﺍ لﺎﻤﻋﻷﺍ : ﻊﻁﺎﻘﻟﺍ ﻑﺭﺼﻤﻟﺍ ﺀﺎﺸﻨﺇ ﻡﻗﺭ (٢) لﻭﻁﺒ ٣,٧٥٠ ﺭﺘﻤ ﻭﻠﻴﻜ . ﻡﻗﺭ ﻊﻁﺎﻘﻟﺍ ﻑﺭﺼﻤﻟﺍ ﺀﺎﺸﻨﺇ (٣) لﻭﻁﺒ ٢,٣٥٠ ﺭﺘﻤ ﻭﻠﻴﻜ . (ﺏ) لﺎﻤﻋﻷﺍ ﺔﻴﻋﺎﻨﺼﻟﺍ : لﻴﻨﻟﺍ ﺭﻬﻨ ﻰﻠﻋ ﺏﺼﻤﻟﺍ ﺭﺍﺩﻫ ﺀﺎﺸﻨﺇ . ﻭﻠﻴﻜﻟﺍ ﺩﻨﻋ ﺔﻴﺩﺎﻌﻟﺍ ﺔﻨﺎﺴﺭﺨﻟﺍ ﻥﻤ ﺭﺍﺩﻫ ٠,٨٥٠ ﻡﻗﺭ ﻊﻁﺎﻘﻟﺍ ﻑﺭﺼﻤﻟﺍ ﻰﻠﻋ ٢) . ( لﻭﻁﺒ ﺔﻴﻁﻐﺘ ١٠٠ ﺭﺘﻤ ) ﺭﺘﻤ ﺔﺌﺎﻤ ( ﺭ ﻊﻁﺎﻘﻟﺍ ﻑﺭﺼﻤﻟﺍ ﻰﻠﻋ ﻡﻗ (٢) ﻥـﻋ ﺓﺭﺎﺒﻋ ﺭﻁﻗ ﺔﺤﻠﺴﻤ ﺔﻨﺎﺴﺭﺨ ﺭﻴﺴﺍﻭﻤ
ﺭﻴﺴﺍﻭﻤ ﺓﺭﺎﺤﺴ ﻡ١,٩٥ ﺔﺒﺘﺭ) (٢ ﻊﻁﺎـﻘﻟﺍ ﻑﺭﺼﻤﻟﺍ ﻰﻠﻋ ﻡﻗﺭ (٢) ﻭﻠﻴﻜﻟﺍ ﺩﻨﻋ ٠,٥٢٥ ﺕﺎﻴﺴﻜﺘ ﻥﻴﻓﺭﺼﻤﻟﺍ ﻰﻠﻋ ﺭﺎﺠﺤﻷﺎﺒ ﺵﺒﺩ . ﺎﹰﺜﻟﺎﺜ - لﺎﻤﻋﻷﺍ ﺫﻴﻔﻨﺘ ﻑﻗﻭﻤ : ﻡﺎﻋ ﻰﻓ ﻉﻭﺭﺸﻤﻟﺍ ﺫﻴﻔﻨﺘ ﻥﻤ ﺀﺎﻬﺘﻨﻻﺍ ﻡﺘ ٢٠١٧ ﺎﻌﺒﺍﺭ - ﺔﻴﻜﻠﻤﻟﺍ ﻉﺯﻨ لﺎﻤﻋﺃ ﺫﻴﻔﻨﺘ ﻑﻗﻭﻤ : ﻻﺍ ﺭﺍﺭﻗ ﺭﺩﺼ ﻡﻗﺭ ﻯﺭﺍﺯﻭﻟﺍ ﺭﺍﺭﻘﻟﺎﺒ ﺕﻗﺅﻤﻟﺍ ﺀﻼﻴﺘﺴ ٧٨٨ ﺔﻨﺴﻟ ٢٠١٦ ﺦﻴﺭﺎـﺘﺒ ٢٠١٦/٧/٢٨ ﻡﻗﺭ ﺩﺩﻌﻟﺎﺒ ﺔﻴﻤﺴﺭﻟﺍ ﻊﺌﺎﻗﻭﻟﺍ ﺓﺩﻴﺭﺠﺒ ﺭﻭﺸﻨﻤﻟﺍﻭ ٢٥١ ﻡـﻗﺭ ﺭﺍﺭﻘﻟﺎﺒ ٩٢٦ ﺔﻨﺴﻟ ٢٠١٦ ﺦﻴﺭﺎﺘﺒ ٢٠١٦/١٠/١٦

ﺭﺍﺭﻗ ﺩﻴﺩﺠﺘﻟ ﻙﻟﺫﻭ ﻡﻗﺭ ﺭﺍﺭﻘﻟﺎﺒ ﺭﺸﺎﺒﻤﻟﺍ ﺫﻴﻔﻨﺘﻟﺍ ﻕﻴﺭﻁﺒ ﺀﻼﻴﺘﺴﻹﺎﺒ ٥٧٧ ﺔﻨﺴﻟ ٢٠١٧ ﺓﺩﺎـﻤﻠﻟ ﺎﹰﻘﺒﻁ ﻙﻟﺫﻭ ، ﻡﻗﺭ (١٢)

لوادتلادنعاهبدتعيلاةينورتكلإةروص ﺔﯿﻤﺳﺮﻟا ةﺪﯾﺮﺠﻟا –دﺪﻌﻟا٥٠ رﺮﻜﻣ ) أ ( ﻰﻓ ١٨ ﺮﺒﻤﺴﯾد ﺔﻨﺳ ٢٠٢٢ ٢٩ ﺭـﺸﺎﺒﻤﻟﺍ ﺫـﻴﻔﻨﺘﻟﺍ ﻕﻴﺭﻁﺒ ﺀﻼﻴﺘﺴﻻﺎﺒ ﺔﻴﺒﺭﻌﻟﺍ ﺭﺼﻤ ﺔﻴﺭﻭﻬﻤﺠ ﺱﻴﺌﺭ ﺭﺍﺭﻗ ﺭﺩﺼ ﻡﻗﺭ ﺭﺍﺭﻘﻟﺎﺒ ٥٧٧ ﺔﻨﺴﻟ ٢٠١٧ ﺦﻴﺭﺎـﺘﺒ ٢٠١٧/٧/٢٣ ﻊﺌﺎـﻗﻭﻟﺍ ﺓﺩـﻴﺭﺠﺒ ﺭﻭﺸـﻨﻤﻟﺍﻭ ﻡﻗﺭ ﺩﺩﻌﻟﺎﺒ ﺔﻴﻤﺴﺭﻟﺍ ٥٠ ﺦﻴﺭﺎﺘﺒ ٢٠١٧/١٢/١٤ ﺔـﻤﻴﻘﺒ ﻙﻟﺫﻭ ﺔﻴﻜﻠﻤﻟﺍ ﻉﺯﻨ ﺕﺎﻀﻴﻭﻌﺘ ﺔﻤﻴﻗ لﻤﺎﻜ ﻉﺍﺩﻴﺇ ﻡﺘ ٢٩,٩٩٩,٩٩٥ ﻪـﻴﻨﺠ ﻥﺍﻭﺴﺄﺒ ﺔﺤﺎﺴﻤﻟﺍ ﺔﻴﺭﻴﺩﻤ ﺏﺎﺴﺤﺒ . لﺎﻤﻜﺘـﺴﺍ ﻥـﻤ ﻥﻜﻤﺘـﻟﺍ ﻭـﻫ ﺔﻤﺎﻌﻟﺍ ﺔﻌﻔﻨﻤﻟﺍ ﺭﺍﺭﻗ ﺩﻴﺩﺠﺘ ﺏﻠﻁ ﻥﻤ ﻑﺩﻬﻟﺍ ﻥﺃﻭ ﺕﺎﻀﻴﻭﻌﺘﻟﺍ ﻑﺭﺼ ﺕﺍﺀﺍﺭﺠﺇ ﺕﺍﺀﺍﺭﺠﻹﺍ ﻰﻗﺎﺒ لﺎﻤﻜﺘﺴﺍ ﺍﺫﻜﻭ ﻕﻭﻘﺤﻟﺍ ﺏﺎﺤﺼﻷ ﺓﺭﺭﻘﻤﻟﺍ . ﻑﺭـﺼﻭ ﺭﺸـﻨﻟﺍﻭ ﺽﺭـﻌﻟﺍ ﺕﺍﺀﺍﺭـﺠﺇ ﻥـﻤ ﺔﺤﺎﺴﻤﻟﺍ ﺔﺌﻴﻫ ﻥﻜﻤﺘ ﻡﺩﻌﻟ ﺍﺭﻅﻨ ﺏﺎﺤﺼﻷ ﻉﻭﺭﺸﻤﻟﺍ ﺕﺎﻀﻴﻭﻌﺘ ﺎـﹰﻘﺒﻁ ﺭﺍﺭـﻘﻟﺍ ﺭﻭﺩﺼ ﻰﻠﻋ ﻥﻴﺘﻨﺴ ﺭﻭﺭﻤ لﺒﻗ ﻰﻀﺍﺭﻷﺍ ﻌﻟﺍ ﺓﺭﺍﺩﻺﻟ ﺩﺭﻭ ﺩﻘﻓ ، ﻯﺭﺎﻘﻌﻟﺍ ﺭﻬﺸﻟﺎﺒ ﻉﻭﺭﺸﻤﻟﺍ ﺝﺫﺎﻤﻨ
لﺎﺤ
ﺔﻤﺎ
ﻥﻭﻨﺎﻘﻟﺍ ﻥﻤ (١٠) ﺔﻨﺴﻟ ١٩٩٠ ﺔـﻤﺎﻌﻟﺍ ﺔـﻌﻔﻨﻤﻠﻟ ﺕﺍﺭﺎﻘﻌﻟﺍ ﺔﻴﻜﻠﻤ ﻉﺯﻨ ﻥﺄﺸﺒ ﻡﻗﺭ ﻥﻭﻨﺎﻘﻟﺎﺒ لﺩﻌﻤﻟﺍﻭ (٢٤) ﺔﻨﺴﻟ ٢٠١٨ ﻰﻠﻋ ﺹﻨﺘ
ﺝﺫﺎـﻤﻨﻟﺍ
ﻰﻓ ﺎﻬﻴﻠﻋ ﺹﻭﺼﻨﻤﻟﺍ ﺕﺍﺀﺍﺭﺠﻺﻟ ﺎﹰﻘﺒﻁ ﻯﺭﺍﺯﻭﻟﺍ ﺭﺍﺭﻘﻟﺍ ﻭﺃ ﺭﺍﺭﻘﻟﺍ ﺩﻋ ، ﺔﻴﻤﺴﺭﻟﺍ ﺓﺩﻴﺭﺠﻟﺍ ﻰﻓ ﺔﻤﺎﻌﻟﺍ ﺔﻌﻔﻨﻤﻟﺍ ﺭﺍﺭﻗ ﺭﺸﻨ ﺦﻴﺭﺎﺘ ﻥﻤ ﻥـﻜﻴ ﻡـﻟ ﻥﺄـﻜ ﺎﻬﺒ ﺹﺎﺨﻟﺍ ﺭﺍﺭﻘﻟﺍ ﻭﺃ ﺝﺫﺎﻤﻨﻟﺍ ﻉﺩﻭﺘ ﻡﻟ ﻰﺘﻟﺍ ﺕﺍﺭﺎﻘﻌﻠﻟ ﺔﺒﺴﻨﻟﺎﺒ . " ﻡﺩﻘﺘ ﺎﻤ ﺀﻭﻀ ﻰﻓﻭ : ﺭﻭﺘﻜﺩﻟﺍ ﺩﻴﺴﻟﺍ ﻰﻠﻋ ﺽﻭﺭﻌﻤ ﺭﻤﻷﺍ ﻥﺈﻓ / ﺭﺍﺩﺼـﺘﺴﻻ ﺀﺍﺭﺯﻭـﻟﺍ ﺱﻠﺠﻤ ﺱﻴﺌﺭ ﻡـﻗﺭ ﻉﻭﺭﺸﻤﻠﻟ ﻩﺭﻭﺩﺼ ﻕﺒﺎﺴﻟﺍ ﺭﺍﺭﻘﻠﻟ ﺩﻴﺩﺠﺘ ﺭﺍﺭﻗ (٥٧٧) ﺔﻨﺴـﻟ ٢٠١٧ ﺭﻭﺸـﻨﻤﻟﺍﻭ ﻡﻗﺭ ﺩﺩﻌﻟﺎﺒ ﺔﻴﻤﺴﺭﻟﺍ ﻊﺌﺎﻗﻭﻟﺍ ﺓﺩﻴﺭﺠﺒ (٥٠) ﺦﻴﺭﺎﺘﺒ ٢٠١٧/١٢/١٤ ﺭﻴﺯﻭ ﻯﺭﻟﺍﻭ ﺔﻴﺌﺎﻤﻟﺍ ﺩﺭﺍﻭﻤﻟﺍ ﺃ ﺩ / ﻢﻠﻳﻮﺳ ﻰﻧﺎﻫ
ﻉﺍﺩﻴﺇ ﻥﻭﺩ
ﻯﺫﻟﺍ ﻥﻭﻨﺎﻘﻠﻟ
ﺔﺴﺩﻨﻬﻤﻟﺍ ﺓﺩﻴﺴﻟﺍ ﺏﺎﺘﻜ ﻭﺒﻤﺃ ﻡﻭﻜﺒ ﻑﺭﺼﻟﺍ ﺕﺎﻋﻭﺭﺸﻤﻟ / ﺩﻤ ﻥﺍﻭﺴﺄﺒ ﺔﺤﺎﺴﻤﻟﺍ ﺔﻴﺭﻴﺩﻤ ﺭﻴ ﻡﻗﺭﺒ ٨٦ ﺦﻴﺭﺎﺘﺒ ٢٠٢٢/٤/٤ ﺔـﻴﺒﺭﻌﻟﺍ ﺭﺼـﻤ ﺔـﻴﺭﻭﻬﻤﺠ ﺱﻴـﺌﺭ
ﻰﺘﻟﺍﻭ "
ﻉﺩﻭـﺘ ﻡـﻟ ﺍﺫﺇ ﻥﻴﺘﻨـﺴ لﻼﺨ ﺔﻘﺒﺎﺴﻟﺍ ﺓﺩﺎﻤﻟﺍ
لوادتلادنعاهبدتعيلاةينورتكلإةروص ﺔﯿﻤﺳﺮﻟا ةﺪﯾﺮﺠﻟا –دﺪﻌﻟا٥٠ رﺮﻜﻣ ) أ ( ﻰﻓ ١٨ ﺮﺒﻤﺴﯾد ﺔﻨﺳ ٢٠٢٢ ٣٠
لوادتلادنعاهبدتعيلاةينورتكلإةروص ﺔﯿﻤﺳﺮﻟا ةﺪﯾﺮﺠﻟا –دﺪﻌﻟا٥٠ رﺮﻜﻣ ) أ ( ﻰﻓ ١٨ ﺮﺒﻤﺴﯾد ﺔﻨﺳ ٢٠٢٢ ٣١
لوادتلادنعاهبدتعيلاةينورتكلإةروص ﺔﯿﻤﺳﺮﻟا ةﺪﯾﺮﺠﻟا –دﺪﻌﻟا٥٠ رﺮﻜﻣ ) أ ( ﻰﻓ ١٨ ﺮﺒﻤﺴﯾد ﺔﻨﺳ ٢٠٢٢ ٣٢
لوادتلادنعاهبدتعيلاةينورتكلإةروص ﺔﯿﻤﺳﺮﻟا ةﺪﯾﺮﺠﻟا –دﺪﻌﻟا٥٠ رﺮﻜﻣ ) أ ( ﻰﻓ ١٨ ﺮﺒﻤﺴﯾد ﺔﻨﺳ ٢٠٢٢ ٣٣
لوادتلادنعاهبدتعيلاةينورتكلإةروص ﺔﯿﻤﺳﺮﻟا ةﺪﯾﺮﺠﻟا –دﺪﻌﻟا٥٠ رﺮﻜﻣ ) أ ( ﻰﻓ ١٨ ﺮﺒﻤﺴﯾد ﺔﻨﺳ ٢٠٢٢ ٣٤
لوادتلادنعاهبدتعيلاةينورتكلإةروص ﺔﯿﻤﺳﺮﻟا ةﺪﯾﺮﺠﻟا –دﺪﻌﻟا٥٠ رﺮﻜﻣ ) أ ( ﻰﻓ ١٨ ﺮﺒﻤﺴﯾد ﺔﻨﺳ ٢٠٢٢ ٣٥
لوادتلادنعاهبدتعيلاةينورتكلإةروص ﺔﯿﻤﺳﺮﻟا ةﺪﯾﺮﺠﻟا –دﺪﻌﻟا٥٠ رﺮﻜﻣ ) أ ( ﻰﻓ ١٨ ﺮﺒﻤﺴﯾد ﺔﻨﺳ ٢٠٢٢ ٣٦
لوادتلادنعاهبدتعيلاةينورتكلإةروص ﺔﯿﻤﺳﺮﻟا ةﺪﯾﺮﺠﻟا –دﺪﻌﻟا٥٠ رﺮﻜﻣ ) أ ( ﻰﻓ ١٨ ﺮﺒﻤﺴﯾد ﺔﻨﺳ ٢٠٢٢ ٣٧
لوادتلادنعاهبدتعيلاةينورتكلإةروص ﺔﯿﻤﺳﺮﻟا ةﺪﯾﺮﺠﻟا –دﺪﻌﻟا٥٠ رﺮﻜﻣ ) أ ( ﻰﻓ ١٨ ﺮﺒﻤﺴﯾد ﺔﻨﺳ ٢٠٢٢ ٣٨
لوادتلادنعاهبدتعيلاةينورتكلإةروص ﺔﯿﻤﺳﺮﻟا ةﺪﯾﺮﺠﻟا –دﺪﻌﻟا٥٠ رﺮﻜﻣ ) أ ( ﻰﻓ ١٨ ﺮﺒﻤﺴﯾد ﺔﻨﺳ ٢٠٢٢ ٣٩
لوادتلادنعاهبدتعيلاةينورتكلإةروص ﺔﯿﻤﺳﺮﻟا ةﺪﯾﺮﺠﻟا –دﺪﻌﻟا٥٠ رﺮﻜﻣ ) أ ( ﻰﻓ ١٨ ﺮﺒﻤﺴﯾد ﺔﻨﺳ ٢٠٢٢ ٤٠
لوادتلادنعاهبدتعيلاةينورتكلإةروص ﺔﯿﻤﺳﺮﻟا ةﺪﯾﺮﺠﻟا –دﺪﻌﻟا٥٠ رﺮﻜﻣ ) أ ( ﻰﻓ ١٨ ﺮﺒﻤﺴﯾد ﺔﻨﺳ ٢٠٢٢ ٤١
لوادتلادنعاهبدتعيلاةينورتكلإةروص ﺔﯿﻤﺳﺮﻟا ةﺪﯾﺮﺠﻟا –دﺪﻌﻟا٥٠ رﺮﻜﻣ ) أ ( ﻰﻓ ١٨ ﺮﺒﻤﺴﯾد ﺔﻨﺳ ٢٠٢٢ ٤٢
لوادتلادنعاهبدتعيلاةينورتكلإةروص ﺔﯿﻤﺳﺮﻟا ةﺪﯾﺮﺠﻟا –دﺪﻌﻟا٥٠ رﺮﻜﻣ ) أ ( ﻰﻓ ١٨ ﺮﺒﻤﺴﯾد ﺔﻨﺳ ٢٠٢٢ ٤٣
لوادتلادنعاهبدتعيلاةينورتكلإةروص ﺔﯿﻤﺳﺮﻟا ةﺪﯾﺮﺠﻟا –دﺪﻌﻟا٥٠ رﺮﻜﻣ ) أ ( ﻰﻓ ١٨ ﺮﺒﻤﺴﯾد ﺔﻨﺳ ٢٠٢٢ ٤٤
لوادتلادنعاهبدتعيلاةينورتكلإةروص ﺔﯿﻤﺳﺮﻟا ةﺪﯾﺮﺠﻟا –دﺪﻌﻟا٥٠ رﺮﻜﻣ ) أ ( ﻰﻓ ١٨ ﺮﺒﻤﺴﯾد ﺔﻨﺳ ٢٠٢٢ ٤٥
لوادتلادنعاهبدتعيلاةينورتكلإةروص ﺔﯿﻤﺳﺮﻟا ةﺪﯾﺮﺠﻟا –دﺪﻌﻟا٥٠ رﺮﻜﻣ ) أ ( ﻰﻓ ١٨ ﺮﺒﻤﺴﯾد ﺔﻨﺳ ٢٠٢٢ ٤٦
لوادتلادنعاهبدتعيلاةينورتكلإةروص ﺔﯿﻤﺳﺮﻟا ةﺪﯾﺮﺠﻟا –دﺪﻌﻟا٥٠ رﺮﻜﻣ ) أ ( ﻰﻓ ١٨ ﺮﺒﻤﺴﯾد ﺔﻨﺳ ٢٠٢٢ ٤٧
لوادتلادنعاهبدتعيلاةينورتكلإةروص ﺔﯿﻤﺳﺮﻟا ةﺪﯾﺮﺠﻟا –دﺪﻌﻟا٥٠ رﺮﻜﻣ ) أ ( ﻰﻓ ١٨ ﺮﺒﻤﺴﯾد ﺔﻨﺳ ٢٠٢٢ ٤٨
لوادتلادنعاهبدتعيلاةينورتكلإةروص ﺔﯿﻤﺳﺮﻟا ةﺪﯾﺮﺠﻟا –دﺪﻌﻟا٥٠ رﺮﻜﻣ ) أ ( ﻰﻓ ١٨ ﺮﺒﻤﺴﯾد ﺔﻨﺳ ٢٠٢٢ ٤٩
لوادتلادنعاهبدتعيلاةينورتكلإةروص ﺔﯿﻤﺳﺮﻟا ةﺪﯾﺮﺠﻟا –دﺪﻌﻟا٥٠ رﺮﻜﻣ ) أ ( ﻰﻓ ١٨ ﺮﺒﻤﺴﯾد ﺔﻨﺳ ٢٠٢٢ ٥٠
لوادتلادنعاهبدتعيلاةينورتكلإةروص ﺔﯿﻤﺳﺮﻟا ةﺪﯾﺮﺠﻟا –دﺪﻌﻟا٥٠ رﺮﻜﻣ ) أ ( ﻰﻓ ١٨ ﺮﺒﻤﺴﯾد ﺔﻨﺳ ٢٠٢٢ ٥١
لوادتلادنعاهبدتعيلاةينورتكلإةروص ﺔﯿﻤﺳﺮﻟا ةﺪﯾﺮﺠﻟا –دﺪﻌﻟا٥٠ رﺮﻜﻣ ) أ ( ﻰﻓ ١٨ ﺮﺒﻤﺴﯾد ﺔﻨﺳ ٢٠٢٢ ٥٢
لوادتلادنعاهبدتعيلاةينورتكلإةروص ﺔﯿﻤﺳﺮﻟا ةﺪﯾﺮﺠﻟا –دﺪﻌﻟا٥٠ رﺮﻜﻣ ) أ ( ﻰﻓ ١٨ ﺮﺒﻤﺴﯾد ﺔﻨﺳ ٢٠٢٢ ٥٣
لوادتلادنعاهبدتعيلاةينورتكلإةروص ﺔﯿﻤﺳﺮﻟا ةﺪﯾﺮﺠﻟا –دﺪﻌﻟا٥٠ رﺮﻜﻣ ) أ ( ﻰﻓ ١٨ ﺮﺒﻤﺴﯾد ﺔﻨﺳ ٢٠٢٢ ٥٤
لوادتلادنعاهبدتعيلاةينورتكلإةروص ﺔﯿﻤﺳﺮﻟا ةﺪﯾﺮﺠﻟا –دﺪﻌﻟا٥٠ رﺮﻜﻣ ) أ ( ﻰﻓ ١٨ ﺮﺒﻤﺴﯾد ﺔﻨﺳ ٢٠٢٢ ٥٥
لوادتلادنعاهبدتعيلاةينورتكلإةروص ﺔﯿﻤﺳﺮﻟا ةﺪﯾﺮﺠﻟا –دﺪﻌﻟا٥٠ رﺮﻜﻣ ) أ ( ﻰﻓ ١٨ ﺮﺒﻤﺴﯾد ﺔﻨﺳ ٢٠٢٢ ٥٦
لوادتلادنعاهبدتعيلاةينورتكلإةروص ﺔﯿﻤﺳﺮﻟا ةﺪﯾﺮﺠﻟا –دﺪﻌﻟا٥٠ رﺮﻜﻣ ) أ ( ﻰﻓ ١٨ ﺮﺒﻤﺴﯾد ﺔﻨﺳ ٢٠٢٢ ٥٧
لوادتلادنعاهبدتعيلاةينورتكلإةروص ﺔﯿﻤﺳﺮﻟا ةﺪﯾﺮﺠﻟا –دﺪﻌﻟا٥٠ رﺮﻜﻣ ) أ ( ﻰﻓ ١٨ ﺮﺒﻤﺴﯾد ﺔﻨﺳ ٢٠٢٢ ٥٨
لوادتلادنعاهبدتعيلاةينورتكلإةروص ﺔﯿﻤﺳﺮﻟا ةﺪﯾﺮﺠﻟا –دﺪﻌﻟا٥٠ رﺮﻜﻣ ) أ ( ﻰﻓ ١٨ ﺮﺒﻤﺴﯾد ﺔﻨﺳ ٢٠٢٢ ٥٩
لوادتلادنعاهبدتعيلاةينورتكلإةروص ﺔﯿﻤﺳﺮﻟا ةﺪﯾﺮﺠﻟا –دﺪﻌﻟا٥٠ رﺮﻜﻣ ) أ ( ﻰﻓ ١٨ ﺮﺒﻤﺴﯾد ﺔﻨﺳ ٢٠٢٢ ٦٠
لوادتلادنعاهبدتعيلاةينورتكلإةروص ﺔﯿﻤﺳﺮﻟا ةﺪﯾﺮﺠﻟا –دﺪﻌﻟا٥٠ رﺮﻜﻣ ) أ ( ﻰﻓ ١٨ ﺮﺒﻤﺴﯾد ﺔﻨﺳ ٢٠٢٢ ٦١
لوادتلادنعاهبدتعيلاةينورتكلإةروص ﺔﯿﻤﺳﺮﻟا ةﺪﯾﺮﺠﻟا –دﺪﻌﻟا٥٠ رﺮﻜﻣ ) أ ( ﻰﻓ ١٨ ﺮﺒﻤﺴﯾد ﺔﻨﺳ ٢٠٢٢ ٦٢
لوادتلادنعاهبدتعيلاةينورتكلإةروص ﺔﯿﻤﺳﺮﻟا ةﺪﯾﺮﺠﻟا –دﺪﻌﻟا٥٠ رﺮﻜﻣ ) أ ( ﻰﻓ ١٨ ﺮﺒﻤﺴﯾد ﺔﻨﺳ ٢٠٢٢ ٦٣
لوادتلادنعاهبدتعيلاةينورتكلإةروص ﺔﯿﻤﺳﺮﻟا ةﺪﯾﺮﺠﻟا –دﺪﻌﻟا٥٠ رﺮﻜﻣ ) أ ( ﻰﻓ ١٨ ﺮﺒﻤﺴﯾد ﺔﻨﺳ ٢٠٢٢ ٦٤
لوادتلادنعاهبدتعيلاةينورتكلإةروص ﺔﯿﻤﺳﺮﻟا ةﺪﯾﺮﺠﻟا –دﺪﻌﻟا٥٠ رﺮﻜﻣ ) أ ( ﻰﻓ ١٨ ﺮﺒﻤﺴﯾد ﺔﻨﺳ ٢٠٢٢ ٦٥
لوادتلادنعاهبدتعيلاةينورتكلإةروص ﺔﯿﻤﺳﺮﻟا ةﺪﯾﺮﺠﻟا –دﺪﻌﻟا٥٠ رﺮﻜﻣ ) أ ( ﻰﻓ ١٨ ﺮﺒﻤﺴﯾد ﺔﻨﺳ ٢٠٢٢ ٦٦
لوادتلادنعاهبدتعيلاةينورتكلإةروص ﺔﯿﻤﺳﺮﻟا ةﺪﯾﺮﺠﻟا –دﺪﻌﻟا٥٠ رﺮﻜﻣ ) أ ( ﻰﻓ ١٨ ﺮﺒﻤﺴﯾد ﺔﻨﺳ ٢٠٢٢ ٦٧
لوادتلادنعاهبدتعيلاةينورتكلإةروص ﺔﯿﻤﺳﺮﻟا ةﺪﯾﺮﺠﻟا –دﺪﻌﻟا٥٠ رﺮﻜﻣ ) أ ( ﻰﻓ ١٨ ﺮﺒﻤﺴﯾد ﺔﻨﺳ ٢٠٢٢ ٦٨
لوادتلادنعاهبدتعيلاةينورتكلإةروص ﺔﯿﻤﺳﺮﻟا ةﺪﯾﺮﺠﻟا –دﺪﻌﻟا٥٠ رﺮﻜﻣ ) أ ( ﻰﻓ ١٨ ﺮﺒﻤﺴﯾد ﺔﻨﺳ ٢٠٢٢ ٦٩
لوادتلادنعاهبدتعيلاةينورتكلإةروص ﺔﯿﻤﺳﺮﻟا ةﺪﯾﺮﺠﻟا –دﺪﻌﻟا٥٠ رﺮﻜﻣ ) أ ( ﻰﻓ ١٨ ﺮﺒﻤﺴﯾد ﺔﻨﺳ ٢٠٢٢ ٧٠
لوادتلادنعاهبدتعيلاةينورتكلإةروص ﺔﯿﻤﺳﺮﻟا ةﺪﯾﺮﺠﻟا –دﺪﻌﻟا٥٠ رﺮﻜﻣ ) أ ( ﻰﻓ ١٨ ﺮﺒﻤﺴﯾد ﺔﻨﺳ ٢٠٢٢ ٧١
لوادتلادنعاهبدتعيلاةينورتكلإةروص ﺔﯿﻤﺳﺮﻟا ةﺪﯾﺮﺠﻟا –دﺪﻌﻟا٥٠ رﺮﻜﻣ ) أ ( ﻰﻓ ١٨ ﺮﺒﻤﺴﯾد ﺔﻨﺳ ٢٠٢٢ ٧٢
لوادتلادنعاهبدتعيلاةينورتكلإةروص ﺔﯿﻤﺳﺮﻟا ةﺪﯾﺮﺠﻟا –دﺪﻌﻟا٥٠ رﺮﻜﻣ ) أ ( ﻰﻓ ١٨ ﺮﺒﻤﺴﯾد ﺔﻨﺳ ٢٠٢٢ ٧٣
لوادتلادنعاهبدتعيلاةينورتكلإةروص ﺔﯿﻤﺳﺮﻟا ةﺪﯾﺮﺠﻟا –دﺪﻌﻟا٥٠ رﺮﻜﻣ ) أ ( ﻰﻓ ١٨ ﺮﺒﻤﺴﯾد ﺔﻨﺳ ٢٠٢٢ ٧٤
لوادتلادنعاهبدتعيلاةينورتكلإةروص ﺔﯿﻤﺳﺮﻟا ةﺪﯾﺮﺠﻟا –دﺪﻌﻟا٥٠ رﺮﻜﻣ ) أ ( ﻰﻓ ١٨ ﺮﺒﻤﺴﯾد ﺔﻨﺳ ٢٠٢٢ ٧٥
لوادتلادنعاهبدتعيلاةينورتكلإةروص ﺔﯿﻤﺳﺮﻟا ةﺪﯾﺮﺠﻟا –دﺪﻌﻟا٥٠ رﺮﻜﻣ ) أ ( ﻰﻓ ١٨ ﺮﺒﻤﺴﯾد ﺔﻨﺳ ٢٠٢٢ ٧٦
لوادتلادنعاهبدتعيلاةينورتكلإةروص ﺔﯿﻤﺳﺮﻟا ةﺪﯾﺮﺠﻟا –دﺪﻌﻟا٥٠ رﺮﻜﻣ ) أ ( ﻰﻓ ١٨ ﺮﺒﻤﺴﯾد ﺔﻨﺳ ٢٠٢٢ ٧٧
لوادتلادنعاهبدتعيلاةينورتكلإةروص ﺔﯿﻤﺳﺮﻟا ةﺪﯾﺮﺠﻟا –دﺪﻌﻟا٥٠ رﺮﻜﻣ ) أ ( ﻰﻓ ١٨ ﺮﺒﻤﺴﯾد ﺔﻨﺳ ٢٠٢٢ ٧٨  ﺓﺭﺍﺩﻹﺍ ﺱﻠﺠﻤ ﺱﻴﺌﺭ  ﺏﺘﻜﻟﺍ ﺭﺍﺩﺒ ﻉﺍﺩﻴﻹﺍ ﻡﻗﺭ ٦٥ ﺔﻨﺴﻟ ٢٠٢٢ ٢٥٥٣٣ / ٢٠٢٢ - ٢٠٢٢/١٢/١٨ - ٩٠٩

Turn static files into dynamic content formats.

Create a flipbook
Issuu converts static files into: digital portfolios, online yearbooks, online catalogs, digital photo albums and more. Sign up and create your flipbook.