Landmark 030823

Page 1

After a delay of more than two years, there’s movement on a project to build a floodwall along the east bank of the Des Plaines River in Riverside from the BNSF Railroad right-of-way north to Park Place and then east to Woodside Road.

But following a presentation on March 2 by the new U.S. Ar my Corps of Engineers team assigned to the project, elected officials were left wondering exactly where things stood.

Follow us online! rblandmark.com March 8, 2023 Also ser ving Nor th Riverside R IVERSIDE-BROOKFIEL D @riversidebrook eldlandmark @riversidebrook eld_landmark @RBLandmark $1.00 Vol. 38, No. 32 © VISUAL IMAG E PHOTOGRAPHY Riverside floodwall questions abound Uncertainty remains over wall’s alignment, look and nal cost
See FLOODWALL on pa ge 8 Brook eld wins $600,000 state grant for Ehlert Park PAGE 3 Riverside police investigate fatal First Ave. crash PAGE 8 After near miss last year, Nazareth girls win first ever basketball state title SEE BILL STONE’S STORY ON PAGE 15 How sweet it is! operated. The Coldwell Banker System fully supports the principles of the Fair Housing Act and the Equal Opportunity Act. rosie gonzalez
2 e Landmark, March 8, 2023

State award Brookfield $600,000 for Ehlert Park upgrade

Open space grant w help fund inclusive playground, othe improvements

The village of Brookfield has $600,000 open space grant from the partment of Natural Resources that fund a major improvement to the quadrant of Ehlert Park over the next of years.

On March 1, Illinois Gov. J.B. P nounced close to $60 million in grant for 118 park projects, including the Brookfield, to acquire and develop recreation spaces

The grant will fund roughly half of a $1.26 million project that will include a new inclusive playground with a poured-in-place surface, a new picnic pavilion and baseball and soccer field upgrades.

“This section of Ehlert Park has not been touched in well over 20 years,” said Assistant Village Manager Stevie Ferrari, who submitted the grant application to the IDNR last fall when she was recreation director “The inclusive playground is not something any of our parks provide currently, except for some accessible swings. By doing this, we’re able to equitably update village amenities for the community and provide more access for outdoor recreation.”

It may take some time before the project breaks ground at Ehlert Park, with work starting later in 2023 at the earliest, possibly in 2024. The village first must receive an executed grant agreement from the state, which could take months.

Last summer, the village got word the state

Improvements proposed for the southwest quadrant of Ehlert Park in Brook eld include ball eld upgrades, a new picnic pavilion and pathways, game tables, a renovated Kesman Memorial Garden and a new accessible playground with a poured-in-place surface and sensory elements to make it inclusive

was releasing $200,000 earmarked in the 2019 Illinois capital budget for the improvement of the Ehlert Park tennis courts Work on those improvements was supposed to take place last fall but delays in getting the executed grant agreement pushed that work into 2023.

According to Ferrari, the Brookfield Village Board is expected to award a construction contract for the tennis court improvements at their March 13 meeting, with work starting once the weather permits.

The village board is also likely to seek requests for proposal from landscape architecture fir ms for the final design of the improvements for the southwest quadrant of Ehlert Park

While the conceptual plan submitted with the grant application last fall won’t change,

Ferrari said, some of the finer details such as playground equipment and landscaping may change.

In addition to the inclusive playground, pavilion and ball field improvement, the project will also include installation of accessible trail connections, ping pong and chessboard tables and landscaping.

The work also includes a renovation of the Kesman Memorial Garden, which was established in 1999. The footprint of the garden will change, Ferrari said, but the existing brick pavers will be preserved. The garden will be relandscaped with native plant species.

“It’s a really exciting project,” Ferrari said. “Ehlert Park has been pieced out as far as work plans go.”

Editor Bob Uphues

Staff Repor ters Francia Garcia Hernandez, Amaris Rodrigue z

Digital Manager Stacy Coleman

Design/Production Manager Andrew Mead

Editorial Design Manager Javier Govea

Designer Susan McKelvey

S ales and Marketing Representatives

Marc Stopeck, Lourdes Nicholls, Kamil Brady

Business & Development Manager

Mary Ellen Nelligan

Circulation Manager Jill Wagner

EMAIL jill@oakpark.com

Publisher Dan Haley

Special Projec ts Manager Susan Walker

BOARD OF DIREC TORS

Chair Judy Gre n Treasurer Nile Wendor f Deb Abrahamson, Gary Collins, Steve Edwards, Darnell Shields, Sheila Solomon, Eric Weinheimer

HOW TO REACH US

ADDRESS 141 S. Oak Park Ave., Oak Park, IL 60302 PHONE 708-442-6739 ■ FAX 708-467-9066

E-MAIL buphues@rblandmark.com

ONLINE www.RBLandmark.com

The Landmark is published digitally and in print by Growing Community Media NFP

The newspaper is available on newsstands for $1.00.

A one -year subscription costs $41 within Cook County and $51 outside the county. Adver tising rates may be obtained by calling our o ce. Periodical rate postage paid at Oak Park, IL (USPS 0019-585). Postmaster send address correc tions to Landmark, 141 S. Oak Park Ave., Oak Park, IL 60302.

© 2023 Growing Community Media NFP

e Landmark, March 8, 2023 3 IN THIS ISSUE Calendar 4 Crime 6 Classi ed . . . . . . . . . . . . . . . . . . . . . . . . . . 17 Kosey Corner . . . . . . . . . . . . . . . . . . . . . . . 12 Opinion 12 Obituaries 13 Spor ts . . . . . . . . . . . . . . . . . . . . . . . . . . . . . 15
COURTESY VILL AG E OF RIVERSIDE
1 1 2 3 4 5 6 7 8 9 10 2 4 5 6 7 8 9 9 10 3

BIG WEEK

March 8-15 Riverside’s histor y and mysteries

Even before there was a “Riverside” as we know it, there were things and events happening on this strategically placed piece of ground and closely adjacent areas that a ected two-thirds of North America.

On March 9 at 7 p.m. at the Riverside Public Library, 1 Burling Road, join Jim Petrzilka for his presentation “Riverside: The History and Mysteries,” sponsored by the Frederick Law Olmsted Society, as he explores how what is now a National Historic Site came to be Riverside

Tower Chorale presents Master works Concer t

The Tower Chorale presents its annual Masterworks Concert, featuring Anton Bruckner’s “Mass No. 2 in E-minor,” on March 11 at 7:30 p.m. and March 12 at 3 p.m. at Emmanuel Episcopal Church, 203 S. Kensington Ave., LaGrange

Commissioned in 1866 by the Archbishop of Linz for the dedication of the Votive Chapel of the Cathedral of the Immaculate Conception, the “Mass in E-minor” was composed for performance in open air with chorus, winds and brass.

Tickets are $25 for adults/$22 students and seniors. Purchase them at towerchorale org/bruckner-mass-in-e-minor.

And more

■ Riverside Arts Center, 32 E. Quinc y St., presents the 13th Annual Riverside-Brook eld High School Advanced Placement Art Exhibition through March 18 in the Freeark Galler y. Open ThursdaySaturday from 1 to 5 p.m.

There’s also “Mujer Quetzalcoatl” featuring the work of Alex Velazquez Brightbill, through March 30 in the lobby of the Riverside Township Hall, 27 Riverside Road in Riverside. Viewing hours are Monday-Thursday from 9 a.m. to 4 p.m. and Friday

Women and automobile histor

Join presenter Barbar Barrett as she celebrates the largely ov important r in the histor automobile during Forces: 100+

Women In ing, Designing and Driving Automobiles” on March 13 at 7 p.m. in the Meeting Room of the Linda Sokol Francis Brook eld Library, 3541 Park Ave.

The program will explore female automotive pioneers, including Alice Huyler Ramsey, the rst woman to drive across the U.S.; Helene Rother, the rst female designer at GM; Mary Barra, the rst female CEO at GM; and many others.

Register to attend at brook eld.evanced.info/signup

Movies with Mar ty : ‘A lphaville’

Join lm enthusiast Marty Blank for a Movies with Marty screening of French director Jean-Luc Goddard’s 1965 lm “Alphaville” starring Eddie Constantine and Anna Karina on March 11 at 1 p.m. at the Linda Sokol Francis Brook eld library, 3541 Park Ave

The lm follows government agent Lemmy Caution, who is dispatched on a secret mission to a dystopian metropolis in a distant corner of the galaxy.

Register to attend at brook eld.evanced.info/signup.

HC A hosts pancake breakfast

The Hollywood Citizens Association invites you to attend the organization’s annual Pancake Breakfast on March 11 from 8 to 11 a.m. at Hollywood House, 8434 Washington Ave. in Brook eld.

Tickets, $7 for adults and $5 for children 12-under, get you stack of pancakes, sausage, fruit and orange juice. Buy tickets at hollywoodcitizensassociation.org.

In addition, there will be a ra e including gifts and services from many local businesses. There will also be a membership table for those wishing to join the HCA or renew their memberships

from 9 a.m. to 3 p.m.

■ North Riverside Public Library, 2400 Desplaines Ave., presents Intro to Gmail on March 9 at 2 p.m., Family Game Night on March 10 at 3:30 p.m., Morning Munchkin Stories with Ms. Karen on March 13 at 10:30 a.m., Stretching & Meditation on March 13 at 6 p.m. and a Veterans Healthcare Program on March 15 at 11 a.m. Register for programs online at northriversidelibrary.org/eventsnew.

March

9 at 10:30 a.m., Yoga Storytime on March 10 at 1 p.m., Chair Yoga (virtual) on March 13 at 11 a.m., Cards & Co ee on March 14 at 10:30 a.m., Mixed Art Media St. Patrick ’s Day Fun in the Maker Studio on March 15 at 6 p.m. and a Medicare Seminar on March 15 at 6:30 p.m. Call 708-4856917 or visit online at brook eld.evanced.info/ signup to register for programs.

■ Riverside Public Library, 1 Burling Road, presents Friday Storytimes (all ages) on March 10 at 9:30 and 10:15 a.m., Mindfulness Together meditation on March 10 at 11 a.m.; Family Playtime

on March 11 from 10 a.m. to noon; Mini-Movers Storytime (3-under with caregiver) on March 13 at 9:30 and 10:15 a.m.; Knitting, Crochet and Needlework Group on March 13 at 7 p.m.; Little Hands Activity Time (best for kids 1-4) on March 14 at 9:30 a.m. and Crafternoons (grades 6-12) on March 15 at 4 p.m. To register for programs, visit online at riversidelibrary.org/events.

■ The Brook eld Elks Lodge, 9022 31st St., hosts bingo the second Sunday of every month. Doors open at 1 p.m. and games start at 2 p.m. with cash payouts

4 e Landmark, March 8, 2023
■ Linda Sokol Francis Brook eld Library, 3541 Park Ave., presents Fairytale Storytime on JIM PETRZILKA Eddie Constantine and Anna Karina in Alphaville ALICE HUYLER RAMSEY

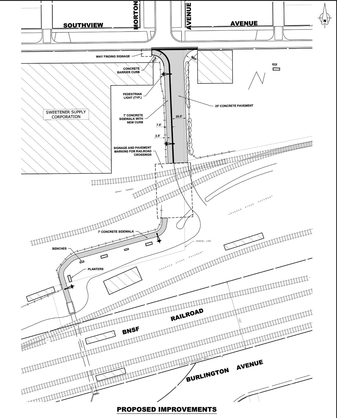
Brookfield eyes grant for improvements north of Congress Park station

Aim is to prioritize pedestrian, bike access and improve safety

While the village of Brookfield waits on the Burlington Norther n-Santa Fe Railroad to move ahead with overhauling the south retaining wall of the Cong ress Park Metra station platform and entrance to the pedestrian tunnel, village of ficials intend to seek grant funding to make improvements north of the rail line.

On March 13, village trustees are expected to approve a resolution to submit an application to Cook County for a $188,000 grant to make hardscape and landscape improvements in the area between the north end of the tunnel and Southview Avenue, where commuters from north of the tracks walk to access the station.

Brookfield hopes to tap into the annual Invest in Cook program, which awards funding for projects that further the county’s long-range Connecting Cook County transportation plan.

The grants cover 50% of the cost of a project, with Brookfield’s estimated to come in around $376,000. The area north of the Cong ress Park Metra station, used by pedestrians and bicyclists to access the train station daily also accommodates train and vehicle traf fic and is called out in Brookfield’s Active Transportation Plan as a priority.

“[The area sees] a lot of dif ferent modes of transportation and potential for conflicts,” Emily Egan, the village’s community development director, told elected of ficials during a discussion of the grant at the village board’s Feb. 27 committee of the whole meeting.

If successful, Brookfield would seek to complete the improvements in 2024.

The Active Transportation Plan, adopted by the village board in 2017, recommends prioritizing pedestrian and bike access in the area north of the train station and to beautify

the area, which includes a gravel drive heading south from Southview Avenue to a rail spur leading into the loading dock at Sweetener Supply at 9501 Southview Ave.

South of the rail spur is a concrete sidewalk that snak its way to the Cong ress Park station tunnel past a turf-co ered stor m water detention area. A preliminary impr ment plan unveiled Feb. 27 calls for the gravel path paved with concrete and for pedestrian lighting to be stalled.

It also calls for signage and pavement markings w the path meets the rail spur and for planters and benc to be placed in the landscaped area bordering the sidewalk and additional pedestrian lighting between the rail and the tunnel.

The Active Transportation Plan calls for erecting finding signage to make it clearer to commuters that can access the Metra station from the north through could be taken as a private drive into the Sweetener Supply property.

Paving the gravel drive and improving signage at the rail spur could help ensure the safety of commuters crossing the grade-level tracks

“We also believe that this public investment will further private investment in this area, and we maintain that this is a priority redevelopment area for the village Egan said.

The access pa th from Southview Avenue to the Cong Park tunnel appears to be owned by the Burlington Norther n-Santa Fe Railroad, but the Landmark has not been able to confir m exactly who owns it Cook County property records seem to imply that the access area, including the gravel drive and part of the sidewalk, are on Sweetener Supply property, but the village does have a lease ag reement with the railroad, last updated in 1958, for the entire length of the access pathway. Brookfield first entered into a lease for the area nor th of the tracks in 1917, when there were few, if any structures, in that area. In 1958, the Brookfield village board appr oved the construction of a GW Suga r factory, and the railroad may have amended its lease with the village at that time,

PROVIDED

e v illage of Brook eld seeks a county grant to make hardscape and landscape improvements to the area north of the Congress Park train station, where pedestrians access it from the north.

nar rowing the easement to the nar row path that exists to this day.

Joe Gardella, CEO of Sweetener Supply, did not respond to a phone message left by the Landmark. Egan said she has received preliminary support for the village’s grant application from Sweetener Supply and other Southview Avenue businesses.

LaGrange Area League of Women Voters host school board candidate forums

Voters interested in hearing directly from candidates running for seats on local school boards will have a couple of chances to do so in the coming week, courtesy of the League of Women Voters of the LaGrange Area.

The organization will host forums, both via Zoom, for those running for Lyons Township High School District 204 and LaGrangeBrookfield Elementary School District 102.

The LTHS forum will be on Monday, March

13 from 7 to 8 p.m. while the District 102 forum will be held Wednesday, March 15 from 7 to 8 p.m.

The formats of the forums will be similar, with candidates briefly presenting their backgrounds and qualifications for running, followed by questions submitted in advance from the public and asked by one of the League of Women Voters’ trained forum moderators.

Anyone wishing to submit a question for consideration can send an email to league@ lagrangearealwv.org. Be sure to include either SD102 or SD204 in the subject line of the email.

Both school districts serve the southwest quarter of Brookfield.

Advance registration is required to attend the virtual meeting by visiting my.lwv.org/illinois/la-grange-area and clicking the appro-

priate link. Those who register will receive an email containing information on how to join the Zoom meeting

Those unable to attend the virtual meetings when they are held can watch recordings that will be published on the League of Women Voters of the LaGrange Area’s Facebook page and at the league’s Illinois Voter Guide website at illinoisvoterguide.org.

e Landmark, March 8, 2023 5

Stolen car recovered, 2 charged in Nor th Riverside

An 18-year-old Skokie man and a juvenile face felony charges of possessing a stolen motor vehicle, and possibly other of fenses, after they were ar rested March 1 just after 1 p.m. inside a stolen 2014 Jeep Cherokee parked at the Nor th Riverside Park Mall, 7501 Cer mak Road

T he ar rests are the latest examples of Nor th Riverside police identifying stolen vehicles entering the mall proper ty using license plater reader cameras. Police have recovered several stolen vehicles and have made multiple ar rests as a result of data captured by the cameras and transmitted to of ficers on patrol.

Jonathan Curtis, who was behind the wheel of the Jeep when police swar med the vehicle in the east parking lot, also was charged with ag gravated unlawful use of a weapon after police re por ted recovering a loaded 9 mm handgun on his person during a pat down following his ar rest.

T he owner of the Jeep re por tedly told police the vehicle was stolen after being left r unning and unlocked while the own-

er was r unning an er rand on the nor th side of Chicago on the mor ning of Feb. 28. Within minutes of the vehicle theft, Curtis and the juvenile re por tedly used the victim’s credit card to purchase 10 gift cards totaling $1,600 from a Jewel-Osco.

T he following day, they alle gedly used those gift cards to purchase hundreds of dollars in merchandise in Chicago and at Nor th Riverside Pa rk Mall.

Police re por ted recovering gift cards on both Curtis and the juvenile and recovered newly purchased merchandise from the Jeep.

According to the police re port, Curtis attempted to drive away from police as they approached in the mall parking lot, striking a parked SUV and the front end of a police squad car. Police re por tedly smashed out the passenger side window of the Jeep and dragged Curtis out of the vehicle.

Police also charged Curtis, who as of March 6 remained in custody at Cook County Jail, with felony damage to gover nment proper ty

Package stolen

A 44-year-old Brookfield resident went to police on Feb. 27 to re port that a package delivered to his home earlier in the month had been stolen. The victim told police that the package was supposed to ar rive on Feb. 9. When it didn’t he contacted UPS and was infor med that they had indeed delivered the package, leaving it on the front ste p of his residence.

DUI, reckless driving

■ Nor th Riverside police charged a 26-yearold Cicero woman with aggravated speeding, reckless driving and driving under the influence of alcohol after officers pursued her white Chevy Malibu as it sped eastbound on Cermak Road from 5th Avenue at speeds in excess 60 and 70 mph on March 5 at about 3:10 a.m.

According to police, the driver sped through red lights at First Avenue and Harlem Avenue before coming to a stop in the left traffic lane on Cermak Road near Kenilworth Avenue in Berwyn.

Brook eld Chamber of Commerce Business Spotlight

With spring coming, it might be time to update your color, cut or both. More Than Hair LTD is here to fill that look. We have been in business for twenty nine years. We offer services to the elderly, young, men , women and children. More Than Hair offers a friendly atmosphere. We listen to our clients needs and wants in order to craft a new style. The shape of your face does determine what style and cut you should be wearing. Skin tones do play a part when it comes to choosing a hair color. Highlights or lowlights can enhance any natural or colored hair.

Shampoos and Conditioners are an essential part of healthy hair. Knowing what type of shampoo and conditioner on dry, normal, coarse hair, curly, wavy, straight hair are beneficial to healthy hair. Dan has thirty eight years of experience. He continually takes classes to stay updated with styles, color and trends. We look forward to seeing you in the salon!

We are located at 9242 Broadway Ave. Call 708-387- 9885 to make your next appointment!

She reportedly appeared intoxicated and was uncooperative with police while she was in custody, refusing sobriety tests Police also cited her for failure to yield, disobeying a red light and operating a vehicle with expired registration.

Aggravated speeding

A 39-year-old Chicago woman was charged by North Riverside police with aggravated speeding on March 4 at around 12:40 a.m. after a police officer on patrol reported observing her white Jaguar traveling at 70 mph in a 35mph zone while northbound in the 2400 block of First Avenue

The car, which had expired registration, also reportedly drove through a red light as it turned eastbound onto Cer mak Road. Following a traffic stop, police also issued the driver citations for speeding, disobeying a red light and expired registration.

These items were obtained from police reports filed by the Riverside, North Riverside and Brookfield police departments, Feb. 27-March 5, and represent a portion of the incidents to which police responded. Unless otherwise indicated, anybody named in these reports has only been charged with a crime. These cases have not been adjudicated.

— Compiled by Bob Uphues

6 e Landmark, March 8, 2023
PO LICE REPO RT S
Presented by
More Than Hair, LTD • 9242 Broadway Ave, Brookfield • 708-387-98856

RBHS board president looks to focus on goals, accountability

Deanna Zalas wants focus on ‘culture of continuous improvement’

When Deanna Zalas ran for a seat on the Riverside-Brookfield High School District 208 Board of Education back in 2019, she hadn’t expected to be its president, much less its president in the midst of a pandemic

But that’s what happened in 2021, when the school board president at that time, Wes Smithing, lost his bid for reelection. After a 6-1 vote, Zalas ste pped into the vacancy and the spotlight.

The high school managed to get through the end of that first pandemic school year and the second in 2021-22 with a minimum of public controversy. While there were points of disagreement about the extent to which the school should open its doors to more students, the school board generally followed state and federal health guidelines

“We didn’t debate matters that were not ours to debate,” Zalas said. “We had people on both sides of the spectrum, but for the most par t people want their kids to get the best education possible in the safest possible environment. And that’s what we had to respond to.”

At the same time, the school board ratified a new contract with the teachers’ union and got a long-ter m commitment from Superintendent Kevin Skinkis who signed a new four-year deal last July, giving

the next school board space to concentrate on meeting district goals.

That should be the focus of the board that’s seated after the April 4 election, Zalas said.

“I have no dramatic agenda for you,” Zalas said. “I fir mly believe RB is an excellent school, and going back to a culture of continuous improvement needs to be the board’s job. What are we doing well, how do we do it better?”

Zalas, a 50-year-old Riverside resident with twin boys attending the school, is one of five candidates, and one of three incumbents, seeking four fouryear ter ms on the District 208 Board of Education.

Apar t from incumbent Laura Hruska, who is running for her fifth ter m on the school board, and Mike Welch, who is one of two people seeking a two-year ter m, the RBHS school board does not have a wealth of experience.

Carolyn Lach, who was appointed to the District 208 board last November and is Welch’s opponent for the two-year ter ms, served previously on the Komarek Elementary School District 94 Board of Education. No other incumbent has served more than four years on the RBHS school board. First-time candidates, says Zalas, often bring enthusiasm and look to bring change. They quickly find out, however, that being a volunteer school board member means long hours and decisions on often unglamorous matters, like heating systems, roofs

and – at least for the past two years – navigating a pandemic.

“We are bound by statutes, we are bound by labor contracts, we are bound by our enrollment, we’re bound by our finances,” Zalas said. “We as a board can eng age all of the par tners and try to figure out how to put those pieces to gether, but we don’t have car te blanche.”

Zalas pointed to the school board’s adoption of a new mission statement in 2021 and then revising the district goals in 2022 as a roadmap for the incoming school board for the next four years.

“This was the first year of having measurable goals based on the mission statement,” Zalas said. “We need to augment those goals for the next year, make them more robust and ensure there’s accountability. Goals are only as good as the accountability you attach to it.”

Among those goals were ongoing training and eng agement in diversity, equity and inclusion and, especially in light of the challenges the pandemic brought, providing oppor tunities to address the socialemotional needs of students

Re garding equity, Zalas said, “It’s not a change you make over night. It’s about increasing awareness to what it means to be equitable and then how do you chip away at, how do you build an org anization that values equity?”

She acknowledged the high school’s effor ts to provide students who may not be on a colle ge track to access dual-enrollment programs that could lead to employment oppor tunities after graduation.

Asked if the school should expand those

of ferings, she said the school board needed to dig into data to see exactly how to proceed.

“We do have dual-credit oppor tunities on the books [and] they are utilized,” Zalas said. “Understanding who is utilizing them, when and what the future oppor tunities are is really important.”

There has been a good deal of enrollment in career development classes, Zalas said.

“How do we then par tner that interest with oppor tunities that are out there?” she asked. “I don’t think it’s a matter of diminishing the requirements or the rigor of RB’s academic catalog.

“But I do think those dual-credit arrangements are attractive to many people And as colle ge becomes more expensive, their attractiveness only goes up.”

In ter ms of social-emotional needs, Zalas pointed to initiatives rolled out as students made their way back into classrooms to address mental health and lear ning loss

“We used federal dollars to capture programs out of West 40, so we provided additional suppor ts there, additional school social workers, re porting software to capture people’s social-emotional health in addition to their academic [perfor mance] and attendance,” Zalas said.

While Zalas won election for the first time in 2019, she is no stranger to public service. After working for the CTA for 14 years, she for the last decade has been the director of the Cook County De par tment of Risk Management.

“I’m a big believer in public service jobs,” Zalas said.

e Landmark, March 8, 2023 7
Golden Wok Restaurant 1122 N. Maple - 17th Ave. LaGrange Park • 708-354-3930 www.wok138.com Finest Cantonese and Mandarin Food at reasonable prices. TUES - SUNDAY: NOON - 8PM • CLOSED MONDAYS Dining Room Is Currently Closed WE ARE OPEN FOR CARRY-OUT & DELIVERY 636-245-3349
DEANNA ZALAS

Riverside man among those indicted in Ohio for cryptocurrency fraud

Company allegedly pro ted by facilitating illegal Bitcoin transactions

A 69-year-old Riverside man was one of three people indicted in Ohio last week for their alleged involvement in a cryptocurrency fraud conspiracy carried out between August 2022 and February 2023.

Agents from the U.S. Secret Service arrested William Suriano at his Riverside home on March 1, according to Riverside Public Safety Director Matthew Buckley, who said local police were present during the arrest and transported Suriano to DuPage County Jail, where he remains in custody without bond pending a March 16 hearing date

Suriano’s arrest, along with those of Reza Mehraban, 75, of Naperville, and Sonny Meraban, 45, of Miami, was announced March 2 by Michael O’Malley, the prosecutor for Cuyahoga County, Ohio.

A Cuyahoga County grand jury indicted the three men, along with the company S and P Solutions, doing business as Bitcoin of America, following an investigation involving more than two dozen local, state and federal agencies, including the U. S. Department of the Treasury, the FBI, U.S. Customs and Border Protection, the Federal Trade Commission, the Ohio Department of Taxation and the DuPage County State’s Attor ney’s Office.

“I would like to personally thank the United States Secret Service for their incredible hard work throughout the investigation of this case,” said O’Malley in a press release “I would also like to thank the additional 28 agencies that worked alongside our office and the Secret Service. Without the assistance from each and every one of these law enforcement agencies, these individuals would be continuing to profit off of their illegal activities.”

FLOODWALL Need more info

from page 1

Suriano is charged with one count each of conspiracy, money laundering, taxation and possession of criminal tools, five counts of tampering with records, eight counts each of money laundering and receiving stolen property and 33 counts of violating license requirements

According to the 58-count indictment unsealed on March 1, the three men through the company they managed, Bitcoin of America, operated cryptocurrency kiosks across northeast Ohio without a money transmission license and by falsely representing their money transferring capabilities to Ohio regulators to avoid detection.

The investigation was conducted by the U.S. Secret Service Cyber Fraud and Money Laundering Task Force, which also seized a total of 52 ATMs in Cuyahoga and Lorain counties in Ohio connected to the scheme.

“The United States Secret Service has an integrated mission of protection and investigations that safeguard our nation’s financial infrastructure,” said Acting Special Agent in Charge of the Cleveland Field Office Blaine Forschen in a press release “This effort is another example of how we achieve our mission through partnerships with local, state and regional allies such as the Cuyahoga County Prosecutor’s Office.”

The indictment states that the defendants illegally facilitated the conversion of U.S. currency into Bitcoin and transmitted that cryptocurrency into any designated cryptocurrency wallet. For each transaction, the indictment alleges, the defendants collected and retained a transmission fee, averaging about 20% of the total amount transferred and continued to do so after being notified that fee came from fraudulent transfers.

The defendants deposited fees derived from the illegal transfers into bank accounts in 32 states, the indictment states, in none of which they were licensed to operate as a money transmitter.

Defendants are set for arraignment on March 22 in the Cuyahoga County Court of Common Pleas.

“I would like more information on the process. Our residents are looking for more information on the process,” said Trustee Me g an Claucherty, who was elected to the village board in 2021 at a time when the project had stalled and no new information was for thcoming from the Ar my Corps.

“We sit in a posture where this hasn’t been fully approved by our board and I don’t feel personally as if I have nearly enough information on the details,” she said.

Indeed, in many ways, it seems, nothing of substance has happened with the floodwall project, at least publicly, since Riverside trustees voted in December 2020 to give the Ar my Cor ps of Engineers the green light to design the wall.

Village Manager Jessica Frances on March 2 introduced Fele’cia Cummings, the Ar my Corps’ new project manager for the floodwall initiative, and her project team. The person who had headed up the project for the past five years, Jeff Zuercher, is no longer assigned to the Riverside project but attended the March 2 meeting.

According to Frances, Ar my Corps of Engineers staf fing shor tages had contributed to the pause on the Riverside floodwall. With the floodwall design at the 50% stage, Frances said, it was a good time to bring the matter back in front of the village board and introduce of ficials to the new team.

Definitive takeaways were few from the Ar my Corps’ presentation. One of the most noteworthy bits of infor mation was that the Ar my Corps has set April 4 as the date for a new survey of the floodwall alignment, which will give of ficials and residents a much better idea of exactly how the proposed wall will be in relation to the riverbank south of Forest Avenue, and how high.

The Ar my Corps had done such a survey in late 2021, taking the time to drive wood stakes into the ground and marking elevations. However, because it was done during the winter, the village was unable to run a line to illustrate wall heights and nothing more came of it.

Another takeaway from the March 2 presentation was the revelation that the Ar my Corps possesses much more detailed engineering drawings than they’ve released to the public – ones that show the proposed wall alignment and how much such a wall would encroach on private properties

The revelation came in response to a complaint on March 2 by Trustee Edward Hannon that the bird’s eye view plan included in the village board packet left him wondering what it was supposed to de pict.

“I’m wildly confused what I’m supposed to take away from this,” Hannon said.

To fur ther clarify, Yuki Galisanao, the geotechnical engineer assigned to the Ar my Corps’ Riverside team, pulled up the much more detailed “background” presentation slides, which also appeared to pinpoint the locations of two proposed pump stations, one nor th and one south of Forest Avenue

The Landmark has requested copies of those newly disclosed slides from both the village and the Ar my Corps of Engineers but had not received them prior to the newspaper’s print deadline.

Galisanao also confir med that the floodwall heights south of Forest Avenue would be anywhere from about 1 foot, where it ties into high ground at the railroad right-of-way, to between 7 and 8 feet closer to Forest Avenue

She also said her team had initial conversations with the Ar my Corps’ real estate team to for mulate a plan to acquire easements or property from West Avenue homeowners. Still on the table is the possibility of the Ar my Corps acquiring entire residential properties, which could also have an ef fect on the final location of the floodwall south of Forest Avenue

The location of the floodwall nor th of Forest Avenue appears to be much more straightforward. Sheet piling, said Galisanao, would be driven into the existing embankment along Groveland Avenue and on public proper ty nor th of Park Place to a correct height. Whatever remained visible above ground would be encased in concrete.

But exactly what the floodwall will end up looking like is still very much up in the air. In 2020, the village board, the Riverside Preservation Commission and the village’s engineering

8 e Landmark, March 8, 2023
WILLIAM SURIANO

firm spent much time coming up with acce ptable solutions and assured residents the project would undergo review required by the National Historic Preservation Act.

To date, that preservation review has not been done and the Ar my Corps confirmed that when it does submit plans for review to the Illinois State Historic Preservation Officer, they will be the least-costly option.

“There were a few options that [the village’s engineering] firm looked at that were much more enhanced and expensive that would not be within the least-cost proposal we would have for you at this point in time,” Zuercher told trustees on March 2.

While the state review may result in recommendations to beautify the floodwall beyond the least-costly option, that likely will come at a cost to Riverside, one that’s unknown at this time.

The unknown cost impact may be one of the more concerning aspects of the project at this point. The $7.2 million price tag placed on the project back in 2018 has not changed and does not account for increased costs for construction and property acquisition in the wake of the COVID-19 pandemic.

While the Ar my Corps might be able to

g et additional federal funding for its share of the project, the non-federal share would remain at 20%. While the Metropolitan

Water Reclamation District of Greater Illinois pledged to cover 20% of the initial estimated budg et, there’s no guarantee

they’ll contribute more funds, particularly for aesthetic improvements above and beyond what the Ar my Corps ag rees to fund.

“So that’s an item for consideration for the village board as well,” Frances said.

Cummings said the Ar my Corps would initiate the state historic preservation review soon, although she did not have a fir m date for it

She did say they wanted to bring the Riverside Preservation Commission into the conversation as a “consulting party” and asked the village which other agencies they should loop into the conversation.

Trustee Aberdeen Marsh-Ozga, who was a member of the Preservation Commission when the village board gave the go-ahead for the design phase in December 2020, told Cummings that the National Park Service ought to be involved but that there were several others as well.

“There’s a full list of parties that need to be involved, and I think you need to do the due diligence and just notify all of them,” Marsh-Ozg a said.

According to the most recent estimated project timeline, the earliest construction might start on the floodwall, barring more delays or either party deciding to pull out, would be late 2025 or early 2026.

e Landmark, March 8, 2023 9
VILL AG E OF RIVERSIDE
*AnnualPercentage Yield(APY)accurateasofMarch2,2023andissubjecttochange.Aminimumof$1,000is requiredtoopentheaccountandtoobtainthestatedAPY.Feesmay reduce earningsontheaccount.Apenaltymaybeimposedfor earlywithdrawal.Offerisfornewmoneyonly. 7MonthCertificateofDeposit 4 84% APY* 7MonthCertificateofDeposit IT’S HERE 4.84% APY *
e oodwall initiative gained steam following devastating ooding in Riverside in 2013 (above), which inundated properties along West, Groveland, Pine, Lincoln and Forest avenues.

First-time candidate a big fan of RBHS’s direction

Novak seeks to continue ‘good experience’ sons had at high school

Nicholas Novak is a relative newcomer to North Riverside, relocating his family there from Forest Park in 2016 when his son, Matt – who in 2021 would go on to kick a season-opening, last-second, 49-yard field goal to lift the RiversideBrookfield High School football team to a win over Morton -- reached middle school age.

At that time, Nicholas Novak had not yet contemplated running for elective office; he simply wanted his children to have access to Riverside schools.

When his son entered high school, Novak became involved in the RiversideBrookfield High School Booster Club.

“It’s been nothing but positive meeting

all these families from RB,” Novak said. “[My children] had such a good experience there. Academically they thrived, socially they thrived.”

With two sons already graduated from the school and a daughter in seventh grade soon to enroll at RBHS, Novak said he felt the time was right for him to run for a seat on the school board.

“It was time to get involved in the school side to make sure these kids and my daughter have the same success that my boys did,” Novak said.

Novak is one of five candidates seeking four fouryear terms on the District 208 Board of Education, running against incumbent school board President Deanna Zalas, incumbents Laura Hruska and William Durkin and fellow first-time candidate Keyon Duner.

All of the candidates appear to be running independently.

“I enjoy the public service aspect of it, the community involvement, playing a positive role in our children’s lives, making sure that RB continues on the success path that they are on,” Novak said. “I enjoy working with people, I enjoy being part of a board.”

In Forest Park, Novak ran the Little League organization, and he has plenty of experience working with an elected board as the superintendent of projects and special events for the Wheaton Park District where he’s worked for 20 years. His brother, Dan, is the park district’s executive director.

kids could go and half the kids couldn’t.

“I thought that was a nice option for those families that wanted to stay home, they could, and then for those who wanted to go the school, could go.”

Novak said he also supported the school board’s diversity, equity and inclusion goals and initiatives.

“Those are important core values and I know RB has put that in their mission statement,” Novak said.

“I just want to make sure that we do what we say, and make sure we apply those practices to treat everybody with respect, make sure everybody’s characteristics are included. I believe strongly in that.”

That includes, Novak said, making sure the teaching staf f re presents the diversity of students enrolled in a school that is now nearly 40 percent Hispanic.

Now safely moving new residents to our small, wooded campus.

Now safely moving new residents to our small, wooded campus.

Now safely moving new residents to our small, wooded campus.

A safe & smart choice.

A safe & smart choice.

A safe & smart choice.

That the Novak brothers would end up working as park district leaders isn’t a surprise. Their father, Dave Novak, was the executive director of the Park District of Forest Park for 23 years, retiring in 2007.

It’s also not surprising Novak might seek elective office. His brother Dan was elected Forest Park village commissioner in 2019, serving in that capacity for two years before moving out of Forest Park.

“Making sure everybody treats everybody with respect is the main thing,” he said.

Choosing a community you can trust has never been more difficult.

Choosing a community you can trust has never been more important.

Choosing a community you can trust has never been more difficult.

Our community has an impeccable record of safety during the COVID-19 crisis and we will stop at nothing to make sure it continues.

Our community has an impeccable record of safety during the COVID-19 crisis and we will stop at nothing to make sure it continues.

Our community has an impeccable record of safety during the COVID-19 crisis and we will stop at nothing to make sure it continues.

We would be honored for your family to be part of ours.

Nicholas Novak, who goes by “Nic,” is not looking to be a change agent on the school board, but he does see some areas where RBHS can improve its offerings.

“I believe the education services are great,” Novak said. “I believe the AP courses that they have are great for kids who go to the college level. But I also want to make sure they have things for the kids that just want to go into the job field, and go right into trades or not go to colle ge.”

Novak said that as a board member his experience working with facilities would be a benefit when it came to buildings and grounds matters at RBHS, adding he would be happy to be involved in any initiative by the school board to acquire additional land for the landlocked district.

“I would love to see if there was any way to get more land,” Novak said.

We would be honored for your family to be part of ours.

We would be honored for your family to be part of ours. Immediate availability in our Memory Care Assisted Living Small House 99% OF OUR CALEDONIA STAFF IS VACCINATED

Novak had two children attending RBHS during the COVID-19 pandemic and said he thought the school board and administration handled the situation well.

“Erring on the side of caution was probably the best move,” Novak said. “I was definitely in favor of them going back to school when they had that split where half the

10 e Landmark, March 8, 2023
“I enjoy the public ser vice aspect of it, the community involvement, play ing a positive role in our children’s lives.”
Read it online at www.rblandmark.com ASSISTED LIVING • SHELTERED CARE • MEMORY CARE • SKILLED NURSING
NICHOLAS NOVA K D208 school board candidate
2800 Des Plaines Avenue, North Riverside, IL 60546 (708) 7-5092 | CaledoniaSeniorLiving.org ASSISTED LIVING • SHELTERED CARE • MEMORY CARE • SKILLED NURSING Limited availability!

Riverside police investigate fatal crash at First and Ridgewood

Impact demolishes digital display sign at Riverside-Brook eld High School

Riverside police continue to investigate a crash on March 5 around 6:40 p.m. that killed the driver of a vehicle which left the roadway and crashed into the digital display sign, demolishing it, outside RiversideBrookfield High School Avenue and Ridgewood Road

It is unclear wh led to 70-yearWalter Staszko, Chicago, losing c trol of his vehicl a black 1966 Chev Nova, but Riverside Public Safety Director Matthew Buckley said that speed d not appear to ha been a factor.

The Cook County Medical Examiner’s Office was scheduled to conduct an autopsy on March 7, after the Landmark’s print deadline. Social media messages posted in the wake of the crash indicate that Staszko was driving to his home in the Garfield Ridge neighborhood in Chicago after showcasing his classic hot rod at the World of Wheels car show in Rosemont earlier in the day.

pair of brick columns.

The impact of the crash destroyed the sign and caused heavy damage to the vehicle. Emergency personnel were able to remove Staszko from the car and they performed lifesaving measures, according to Buckley, before transporting him to Loyola University Medical Center, where he was pronounced dead at 7:14 p.m.

Staszko was the sole occupant of the Chevy Nova. The other vehicle sustained minor damage. No one else was hurt.

Riverside police called the West Suburban Major Crimes Task Force (WESTAF) crash investigation team to assist in its investigation, and police remained in the area proessing the scene for several hours.

According to Buckley, Staszko was headed southbound on First Avenue approaching Ridgewood Road when the Chevy first clipped the rear end of another southbound vehicle traveling in front of it before veering to the right and into the sign supported by a

PROVIDED

Riverside Public Safety Director Matt Buckley said speed does not appear to have been a factor in the March 5 fatal crash outside Riverside-Brook eld High School.

Rive rside-Brookfield High School Superintendent Kevin Skinkis told the Landmark that he expects the school district will have to completely replace the digital display sign and supports. Staszko had owned the Chevy Nova, emblazoned with the name “Touch & Go II,” since he was a teenager growing up in Cicero, according to a 2018 article titled “Vintage Racer Reborn: The Return of Touch & Go II” by Louis Kimery on the Chevy Hardcore website.

Over time, Staszko made the Nova into a drag-racing muscle car, which he raced in the 1970s and into the 1980s. After leaving the race scene, the car went into storage for years until Staszko had it fully restored as a street vehicle.

“I was 12 years old when I first saw this car competing at the drags,” Staszko told Kimery for his 2018 feature. “It brings back a lot of heartfelt emotions to see it again [restored] after all these years.”

e Landmark, March 8, 2023 11
Sawa’s Old Warsaw www.SawasOldWarsaw.com Smorgasbord • Lounge • Banquets • Carry Out • Catering & Delivery 9200 W. Cermak Road • Broadview, IL        VALENTINE’S DAY BREAKFAST BUFFET Texas Style French Toast Apple wood Bacon Scrambled Eggs Potato Pancakes Kiszka (Polish Sausage) Pork Sausage Links Apple Crepes Apricot Crepes Blueberry Crepes Cheese Crepes Fresh Fruit Raisin Bread English Muffins Bloody Mary or Mimosa only $6 Come Celebrate early from 7 a.m. to 10:30 a.m. All that plus Apple Juice, Orange Juice, Milk or Coffee... For only $9 per person! Lunch ~ Noodles ‘n Ham 11 a.m. to 3:30 p.m. $9 per person Dinner ~ BBQ Pork Ribs 4 p.m. to 9 p.m. $13 per person Sawa’s Old Warsaw Authentic Polish-American Smorgasbord Restaurant • Lounge • Banquets • Dine In • Carry Out • Catering & Delivery www.SawasOldWarsaw.com 9200 W. Cermak Road • Broadview • 708.343.9040 Corned Beef & Cabbage Dinner! Reserve your space now! $5 Guinness bottles $21 per person, $18 per person for “to go” join us for our annual... St. Patrick’s Day Celebration St. Patrick’s Celebration Put your reservation in now! Enjoy a great dinner! Friday March 17 & Saturday March 18 Karen Arndt - Broker - 708 305 2912 - info@karenarndt.realtor Listings are selling fast. If you are thinking about buying or selling, contact me today! The Spring Market is Heating Up! Don’t forget to Spring Forward this Sunday, March 12!

Opinion

THE L ANDMARK VIEW

KOSEY CORNER

Movie musings as the Oscars approach A step backward

It’s been a while – actually we can quantify how long, it’s been more than two years – since re presentatives from the U.S. Ar my Corps of Engineers have given a public update on just what’s going on with a proposed floodwall to protect properties along the Des Plaines River between Park Place and the BNSF Railroad line

On March 2, elected officials got something of an eye-opener

The Riverside project now has a new Ar my Corps team overseeing it, and their familiarity with everything village officials and residents have been through regarding this project over the past five years appeared lacking.

To be fair, it’s a complicated project with a number of moving parts. For one, Riverside is a National Historic Landmark for its landscape design and local of ficials want to make sure any new floodwall would not jeopardize that status

As far back as December 2020, Riverside officials took pains to ensure the Ar my Corps would engage with state preservation officials to review the plans and get their signoff. With the help of the village’s engineer and the Riverside Historical Preservation Commission, elected officials also were able to come up with a design they believed the public would accept.

On March 2, the Ar my Corps said it had not yet done any of that preservation review. As for the local ef forts at making the wall aesthetically acceptable, the Ar my Corps basically said they were going with the cheapest option and made no promises that any aesthetic improvements would be funded above already established levels.

It was also a bit galling to find out that there appear to be pretty detailed engineering plans showing a proposed alignment for the floodwall and locations for pump stations, plans that would more clearly show just how a floodwall would impact the backyards of single-family properties along West Avenue

None of those plans had previously been disclosed publicly and only were revealed in response to Trustee Edward Hannon’s statement that information given to elected officials in advance of the March 2 meeting was woefully inadequate

The Landmark has requested these plans – now entered into the public realm via the Ar my Corps at a village board meeting. We haven’t received them, but we argue the public is now entitled to them. We’ ll see.

In the meantime, the Ar my Corps says they’re sending out a surveyor in early April to run the proposed alignment and give the village an opportunity to string a line along that path to get a sense of how high the floodwall would be as it winds up the riverbank. Of course, the Ar my Corps did this in 2021, too, and nothing ever came of it.

The upshot of the March 2 getting-to-know-you session is that Riverside residents and officials appear to have more questions than answers after five years of wrangling over this floodwall.

Let’s all go to the movies and get some Raisinets! I don’t know if you remember that jingle, but with all the hype about the upcoming Oscars, I star ted to realize it has been quite a while since I went to the movies.

Probably the last time I was in a movie theater was when I took a grandchild to see a Disney movie, which was fine with me. I tend to like those kid movies and having a kid to take gives one an excuse to go to the theater. If you notice when you see those movies, there is always something that only adults catch.

So, looking at this year’s slate of nominees I am not familiar with most of the stars and less familiar with the movies.

As with every year there is controversy, what I’m most fascinated with are the fashions, which run from ridiculous to the sublime. Most of the wardrobes have me wondering how they can breathe, sit down or, more impor tantly, how they go to the bathroom. Oh, come on, you’ve wondered the same thing.

Of late I’ve caught some of the oldies on TV Nothing like a good Bette Davis movie to make you

understand why she was a star. She certainly could be a nasty one or evoke your sympathy. I suppose by today’s standards the movies are corny, particularly when you look at the scenery and compare it to today’s special ef fects. My favorite movie? Well, there are several that I will watch if they are on, but my favorite goes to “Dirty Dancing.” It has my favorite line that I use whenever possibl e, “Nobody puts Baby in the cor ner.”

From another favorite “Gone with the Wind” comes “Frankly, my dear, I don’ t give a damn” and “I’ ll think about it tomor row.” Tom Cruise had a line from one of his early movies, but I can’ t say it here. Ask me when you see me

So good luck to the nominees Keep putting out good movies. Maybe someday I’ ll retur n to a theater, the popcor n always tastes good.

Once ag ain, this column comes to you from Cantata, only now I’m in The Woodlands section. And, once ag ain, I have nice accommodations. Still having rehab -- need to strengthen this body Will keep you in the loop. I enjoy having breakfast brought to me. Love that oatmeal!

LET TERS

‘Commonsense’ solutions to gun violence not so easy

After 4.5 years in colle ge, I graduated with a B.A. in political science, and a commission in the U. S. Ar my The next two years I was on active duty, the second year in Vietnam. I qualified “shar pshooter” with an M-1 Garand and an M-14. At various times in Vietnam, I car ried an M-16 or a .45-caliber automatic.

I have taken familiarization courses with other firear ms of that era. I am an NRA member I have an Illinois FOID card, but I have never purchased a firear m in my life I am likely more knowledgeable than the 90% of the population. Mike Per ricone (“When and how will this insanity end,” Letters, Feb. 22) cites as

wanting “commonsense” solutions. I know enough to know that I don’t know enough to pontificate on a legislative answer to this “insanity.”

If the issues were nuclear reactor procedures or brain surgery re gulation no one would be looking for “commonsense” solutions However, since 90% of us have watched John Wayne and Bruce Willis movies, that 90% is prepared to acce pt the notion of an unspecified “commonsense” solution to a rather complex problem.

The first time this was tried, during the Clinton Administration, the definition of “assault rifles,” written by the well-meaning but ignorant, was so defective as to cause more problems than it solved

In Illinois we have criminal statutes about fire-

12 e Landmark, March 8, 2023
JOANNE KOSE Y
See LETTERS on pa ge 13

OBITUARIES

Frank S. Nedvar, 72 Handyman

Frank S. Nedvar, 72, of Brookfield, died Feb. 16, 2023 at Elmhurst Hospital.

Mr Nedvar was bor n April 11, 1950 in Chicago and worked as a handyman.

He was the son of the late Frank and late Stella (nee Ja nusewski) Nedvar; the brother of Thomas (Sue) Nedvar, John Nedvar and the late Theresa Bottari; the uncle of David Nedvar and Kara Nedvar; and a friend to many Services have been held.

Memorial donations to BEDS Plus Care,

9601 Ogden Ave., LaGrange, 60525 are appreciated.

Johnson-Nosek Funeral Home, Brookfield, handled ar rangements

Online condolences, memories and photo graphs may be shared at JohnsonNosek. com

Richard Wagner, 73 Trucking safety manager

Richard Wagner, 73, of Nor th Riverside, died March 2, 2023 in LaGrange.

Mr Wagner Richard was born Aug. 10, 1949 in Defiance, Ohio, and he worked as a safety manager for a trucking company.

To run an obituary

Please

He was the husband of Joanne (nee Uhlir); the father of Andrew P. (Tina) Wagner, Angela O’Leary-Koechle, Jeremie (Kari) Wagner and Bradley (Leslie) Owen; the grandfather of Mason (Juli) Koechle, Anthony Valenti, Andrew J. Wagner, Daniel (McKenna) O’Leary, Miranda Wagner, Grace Koechle, Jonah Wagner and Evalynn Wagner; the great-grandfather of Halston O’Leary; the brother of Robert (Karen)

Wagner, the late Donna (Ver n) Sweinhagen, late Lester Wagner; and the brotherin-law of Cheryl (Howard) Kostoris and Frank (Barb) Uhlir.

Services have bene held. Cremation was private.

Kuratko-Nosek Funeral Home, Nor th Riverside, handled ar rangements

Online condolences, photos and memories may be shared at KuratkoNosek.com.

ar ms used in felonies so good and so severe that prosecutors are said to resor t to plea barg ains giving deserving felons a lesser sentence.

In theory our FOID card system should guarantee the constitutional right of most citizens to buy a firear m if they wish while preventing those who should not be allowed from doing so.

The FOID de par tment is understaf fed, backlogged, and underequipped. Try calling the phone number on the back of an FOID card and see if neither man nor machine answers the phone.

It has been said that every dif ficult problem has a solution that’s simple, easy and wrong. That describes “commonsense” solutions in a nutshell.

LTHS board candidate thrown under bus

My compliments to you and Indivisible (Invisible?) LaGrange/LaGrange Park for the “expose” you did on Tim

Vlcek, a candidate for Lyons Township High School District 204 school board (“LTHS board candidate attended Awake Illinois workshop in Jan., News, March 1). It was brilliant, something you might expect out of Pravda

As you wrote, Mr Vleck is associated with “Awake Illinois” And as you put it (with my comments inserted in parentheses):

“Awake Illinois is a Naperville-based organization that got its start opposing mask mandates (now apparently deemed worthless) in schools and describes itself as a “parental rights” group (why the quotation marks?)

It is a vocal critic of newer approaches of teaching about gender (72 varieties and counting), sexuality (Queer Theory) and race (Critical Race Theory) and other hot-button issues in schools (i.e., a parent’s rights to know the cur riculum being taught to their children). It stands for traditional values and its critics (Critics? Who?) describe it as antiLGTBQ+.

Of course, the genesis of your article was largely derived from an anonymous email from the “Indivisible LaGrange/ LaGrange Park” ”a left-leaning pro-Democratic Party group” (some might call it “woke” or Socialist or even worst).

“Candidate Tim Vlcek’s anti-teacher and anti-LGBTQIA social media posts reflect Awake’s values, and Indivisible vehemently and absolutely disavows these positions,” the

statement said in part “Any candidate that espouses these positions — and/or any candidate that allows themselves to be aligned with candidates that spout these positions — is not fit to be on any school board.”

Hmmm? If the anonymous Indivisible LaGrange/LaGrange Park said so it must surely car ry some weight. So much so that you should give this group a weekly opinion column like the Kosey Cor ner They could call it the “Indivisible LaGrange/LaGrange Park Neighborhood Watch. Here they could provide the names, addresses, places of work, even telephone numbers of all those who disagree with their political views

Of course, the “Indivisibles” must maintain their anonymity, so they need a pseudonym, a nom de guer re, so to speak. I suggest they sign of f as “Madam Defarge” as in Dickens’ “A Tale of Two Cities.”

Anyway Mr. Skolnik this was a very eye-opening article, not only on Mr Vleck, but also on the evolution of the Riverside-Brookfield Landmark, and perhaps the current state of “jour nalism” in general. Thanks for hearing me out and I hope that like in Dickens novel you and I don’t meet in a cart somewhere on our way to the guillotine compliments of the Indivisible LaGrange/LaGrange Pa rk.

e Landmark, March 8, 2023 13
Read it online at www.rblandmark.com
FRANK S. NEDVAR RICHARD WAGNER
LET TERS
contact Bob Uphues by e-mail: buphues@rblandmark.com, before Monday at noon. Please include a photo if possible.
14 e Landmark, March 8, 2023 PRESENTED BY: Wednesday, March 22 • 7pm North Riverside Village Commons • 2401 Desplaines Ave., North Riverside
Find complete election coverage at RBLandmark.com
Deborah Czajka Jose Del Angel Joseph Maruska Marybelle Mandel Nicholas Tricoci Sandra Greicius
Meet Your Candidates Live and in person North Riverside
Antonio Santucci
Candidates for North Riverside Village Trustee

Roadrunners complete historic task, win first state title

Nazareth Academy knocks o undefeated Lincoln to claim Class 3A crown

Senior and four-year starter Grace Carstensen experienced something new with only 30 seconds left in her final game for the Nazareth Academy girls basketball team for the IHSA Class 3A girls state championship on March 4 in Nor mal. She fouled out.

“I think that’s my first time – ever – in high school,” Carstensen said. Perhaps it happened for a reason. Carstensen could step back soak up her greatest moment with the Roadrunners –the first state championship in prog ram history.

Nazareth sealed the deal by beating previously undefeated Lincoln 63-52 after finishing second in Class 3A last year with most of the same players. They also finished second in 2018 and third in 2019.

Carstensen is the only senior starter for the Roadrunners (35-1), who finished undefeated against Illinois opponents, and the only senior on the roster The 5-foot-11 guard will play basketball at DePaul.

“It was almost sur real [to win], being on the opposite side last year. I don’t even believe it. It’s one of the best feelings ever. You can’t beat that,” Carstensen said. “All of the hard work that I’ve put in and that the team has put in, especially this season, working towards not being on the other side, and

Grace Carstensen, who scored 11 points for Nazareth, drives past a Lincoln defender during the second half of the Roadrunners’ 63-52 w in in the IHSA Class 3A championship game in Normal on March 4.

seeing it all come together is so meaningful.

Junior and third-year starter Olivia Austin led the Roadrunners’ inside dominance with one of her biggest double-doubles (23 points, 12 rebounds). Carstensen (three 3-pointers, 5 steals) and junior Mary Bridget Wilson each had 11 points, junior Amalia Dray had 10 points and junior Danielle Scully had eight points and five rebounds.

Head coach Eddie Stritzel has coached all four trophy teams and achieved his 400th high-school coaching victory this season.

“As everybody knows, we had a goal at the end of last year. I told them we have a great chance to win this year but we’re not going to let it get to us We’re going to play loose and I’m going to coach loose,” Stritzel said.

“I couldn’t be any happier for this group of

girls.”

The Roadrunners especially were motivated by their 2022 state title loss to Carmel 43-39 after beating their East Suburban Catholic Conference rivals twice during the re gular season.

“It was probably one of the most devastating moments of my basketball career, for [my teammates] as well. It just sticks with you,” Carstensen said.

The 6-foot Austin, a three-sport athlete, also was part of Nazareth’s first girls volleyball state championship in 2021 and its second-place finisher in November that lost to St. Francis 25-23, 25-23 in the final.

“I’d say we were all equally motivated because we all had the taste of what it was like [losing in the final],” Austin said. “I’m

super lucky, of course, and I feel like every time we get back, it’s equally exciting. Especially for basketball, everyone knew this trip was business and we were just focused the entire time.”

The Roadrunners led Lincoln (36-1) at halftime 31-25 and opened the third quarwith a 13-0 run for a 44-25 advantage.

Carstensen nailed a 3-pointer to open the half and the other four starters scored basets during the run. The Railsplitters got as lose as 59-50 with 1:20 left.

Even with tight of ficiating, Nazareth gave another superlative defensive ef fort, limitLincoln junior all-stater Kloe Proebe to 19 points on four field goals. Proebe was averaging 28.4 points and scored a state-finals record 45 points in their 76-56 semifinal victory over Deerfield on March 3. Dray, Scully and Wilson finished with four fouls.

“We have what we call our of fensive ‘lemon,’ so we were screaming to squee ze her all of the time,” Scully said.

Carstensen led Nazareth in scoring (11.8 ppg) and 3-pointers (90), but Dray (11.3 ppg), Austin (8.7), Scully (7.5) and Sakalas (7.0) also were consistent scorers.

Carstensen credited her two key thirdquarter steals in the finals to the up-top work of Dray and Wilson in the Roadrunners’ swar ming 2-3 zone defense

The Roadrunners held 26 opponents to fewer than 40 points.

“I’ve been very for tunate to be in basketball my whole life, and I don’t know if I’ve seen a better defensive team than we’ve had all year,” Stritzel said.

Other team members are juniors June Foley, Mackenzie Kulovic, Audrey Moster and Katie Wilson, sophomores Grace Gray, Josie Wagner and freshmen Jane Manecke and Lyla Shelton.

LTHS boys battle but come up short, again, against Hinsdale Central

teammates were deter mined to finally beat Hinsdale Central in the IHSA Class 4A Hinsdale Central Sectional semifinal March 1. The Lions played arguably their best half all season for a 9-point advantage at

halftime.

“Stuf f was flowing,” Polonowski said. “We were hitting shots. We were getting to the basket. We were dishing the ball really well, but on top of everything, we were

having fun. When we play like that, collectively to gether, it’s a scary sight.”

The Lions sustained the ef fort, but they See LT BASKEBALL on page 16

Sports e Landmark, March 8, 2023 15
© VISUAL IMAG E PHOTOGRAPHY Contributing Reporter Senior Nik Polonowski and his Lyons Township High School boys basketball

LTHS gymnasts seek third straight top 3 state trophy

Lions start 2023 on high note, taking Hinsdale Central invite

Junior all-arounder Will Taylor and his Lyons Township High School boys gymnastics teammates are hoping to continue program history by retur ning to the eight-team state meet.

The Lions have their sights on making history all of their own.

They’re going for an unprecedented third consecutive top-three state trophy after taking third in 2022 (149.70 points) and capturing the program’s first state championship in 2021 (157.20).

“We lost a lot of great seniors, but we still have a really great team this year,” Taylor said. “There are still so many great teams in the state, and we’ll certainly have to work hard to get to state. I think the team is willing to put in the work to get there. There’s plenty of competition in the gym, which some people don’t like, but I think it’s good because it motivates everyone.”

The Lions have ear ned four state trophies and five state berths over the last five compet-

LT BASKETBALL

Polonowski scores 20

from page 15

couldn’ t continue the of fensive success. That ultimately led to their third loss to the Red Devils this season 46-40 in front of packed gym of roughly 3,300 that of ficially sold out three days earlier

“I thought our ef fort was tremendous throughout the g ame Unfor tunately, in the second half, we made too many mistakes,” LTHS coach Tom Sloan said. “Hinsdale played very well, and they knocked down some tough shots, too T hey got the of fensive glass the second half [7 of fensive rebounds] and that was really kind of a big factor.”

Polonowski led the Lions (26-6) with 20 points, followed by seniors Graham Smith (9 points, 3 rebounds), Matt DeSimone (5 points), Jackson Nie go (4 points, 5 rebounds, 4 assists), Connor Carroll (4 rebounds, 3 assists) and senior Car ter Reid

ed seasons with back-to-back trophies in 2017 (second) and 2018 (third). There was no 2020 state series because of COVID-19.

Individual state qualifiers Taylor, junior Ryan Evans and sophomore Nick Giordano (floor, high bar) and junior Brian Kloes and sophomore Sean McCabe retur n from last year’s state lineup as well as standout junior all-arounder Matt Adler, who missed state along with graduated top all-arounder Alec Paras to compete at the USA Gymnastics club nationals the same weekend. Taylor and Evans also were part of the 2021 state championship lineup

The Lions opened the 2023 season on March 4 by winning Hinsdale Central’s Mark Wanner Invitational (143.90 points) by nearly 10 points over the host Red Devils. In 2022, their winning 163.60 was the program’s highest meet score ever

“We’re building on the tradition and been focusing a lot on that. Our last dual loss was 2017. They’re motivated to keep that going,” LTHS coach Sam Zeman said. “Everybody had a part in it [in 2022]. They all know they’re going to be contributing this year as

and junior Brady Chambers (4 rebounds each).

Polonowski was among the Lions physically and emotionally spent afterwards, often guarding senior and Michig an baseball recr uit Dan Oosterbaan (19 points, 7 rebounds), the Red Devils’ all-time leading scorer whose 13 second-half points fueled their comeback.

“I was pretty g assed. I didn’t g et out of my bed much the next day. I was pretty sore,” Polonowski said. “I like to give it all I’ve got. If you’ re not giving 100 percent, I feel like that’s almost disrespectful to the other guys and the coaches. Play hard, have fun is my mentality.”

Behind nine points from Polonowski and Smith, the Lions owned a 27-18 halftime advantage, but the g ame’s for tunes changed as the Red Devils (31-4) switched from man-to-man to a 1-3-1 zone defense.

T he Lions scored just three points in the third quar ter on 1-for-5 shooting with four tur novers on nine possessions. The quar ter be g an with Oosterbaan scoring after rebounding his missed shot twice and ended with Chase Collignon’s buzzer

well, including our new guys. They’re all a huge part.”

Five program or varsity newcomers also should contribute in seniors Ryan Johnson and Calum Rogers, junior Nick Peterson, sophomore Devon Mackenzie and freshmen T.J. Carr and Ryan Render man.

Among program newcomers, Johnson is six years removed from club gymnastics while Mackenzie has no previous training but already looks strong on floor exercise A 2022 junior varsity gymnast, Rogers is coming off qualifying for individual sectionals in wrestling

Adler is coming off qualifying for the IHSA state diving meet for the second year in a row. On March 4, Adler won horizontal bar (9.3), vault (9.6) and pommel horse (9.0). he was also second in all-around (54.10) and still rings (8.3) and third on floor exercise (9.4) and parallel bars (8.5).

Taylor was fourth on horse (7.4) and horizontal bar (7.8) and fifth in all-around (46.60). Giordano, Evans, Mackenzie, Peterson and Johnson added top-10 event finishes.

“[Our key is] going to be the team unity and

beater for a 33-30 Hinsdale Central lead.

“We were completely prepared (for the 1-3-1 zone),” Sloan said. “We got a couple of good looks that we didn’t knock down and then we coughed it up a couple of times and that was right when they got it going.”

T he Lions didn’t g et their second second-half field goal until Polonowski’s driving layup with 5:36 left, yet still only trailed 35-32. Polonowski made his three 3-pointers in the final 2:16, but Hinsdale Central held on by making 6 of 8 free throws.

“Nik’s a war rior, just like everyone in the locker room,” Sloan said. “There’s a tremendous chemistry with the group and Nik is one of the leaders. He was not going to go down without giving it his best shot.”

Polonowski (Penn) and Nie go (Illinois Wesleyan) will play colle ge basketball. Smith will play football at Yale

“We have been in the progr am since we were third grade. I’ve been doing kids camps with varsity guys and been around Coach Sloan for years,” Polonowski said.

that competition they use to build each other up from within. The more they improve themselves, the more it’s going to make others better,” Zeman said.

At last year’s individual state preliminaries, Taylor tied for 23rd on parallel bars (8.5), tied for 28th on pommel horse (6.85), tied for 29th on still rings (8.0), tied for 31st on floor exercise (8.65) and tied for 36th on high bar (8.05). Junior Ryan Evans was 24th on rings (8.2) and sophomore Nick Giordano was 39th on high bar (6.05 and tied for 46th on floor (8.25).

This year’s club nationals May 9-14 in Oklahoma City again conflict with the IHSA state weekend. There is the possibility that Adler could participate in both as other gymnasts have done in the past.

“I think as long as [Adler] comes back for the state meet, we still have a pretty good potential to get a trophy,” Taylor said. “[But] everyone has to really pull their weight. I have plenty I still can improve on, more that I want to show off as the season goes on. A lot of my teammates are doing way better than last year. We still have a positive outlook.”

“I made lifelong best friends along the way. I’m so grateful basketball brought those guys into my life I’m so grateful we had that atmosphere within practice, g ames, going out to eat after I was just playing the spot I love with my best friends out there.”

T he Lions lost half of their g ames to Hinsdale Central, including 49-41 on Jan. 20 in Hinsdale and 57-55 on Feb. 11 in LaGrang e, and split their West Suburba n Conference Silver g ames with Downers Grove Nor th and Glenbard West.

Hinsdale Central lost to Downers North 53-43 in the March 3 sectional final. The Trojans (32-3) defeated Kenwood 67-47 at the Illinois-Chicago Supersectional on March 6 for their 19th consecutive win and a state semifinal ber th.

T he Lions beat higher-rated Curie for the second straight year 49-46 in the LT Re gional final Feb. 24.

“I’ ll put our league up against anybody,” Sloan said. “The kids just set us up for a really nice ride. I’ve been really blessed and for tunate to have the oppor tunity to work with them at practice every day.”

16 e Landmark, March 8, 2023 SP OR TS

HELP WANTED ADMINISTRATIVE ASSISTANT

HELP WANTED

The Village of Oak Park is seeking qualified candidates for the position of Human Resources Generalist in the Human Resources Department. This position will perform a variety of professional and technical functions in support human resource management including orientation, hiring, employee testing, classification analysis, compensation analysis and benefits administration. Applicants are encouraged to visit the Village of Oak Park’s website http://www. oak-park.us/jobs. Position opened until filled.

PARKING ENFORCEMENT OFFICER

The Village of Oak Park is seeking qualified candidates for the position of Parking Enforcement Officer in the Police Department Field Services Division. This position will perform a variety of duties and responsibilities involved in the enforcement of Village parking regulations; and to provide general information and assistance to the public. Applicants are encouraged to visit the Village of Oak Park’s website http://www.oak-park.us/. Interested and qualified applicants must complete a Village of Oak Park application.

The Village of Oak Park is seeking qualified candidates for the position of Administrative Assistant in the Public Health Department. This position provides a variety of responsible administrative and analytical functions; records and monitors department budget and fiscal requirements of grant-funded programs; oversight of Accounts Payable process; prepares reports and serves as a resource for computerized office applications. Applicants are encouraged to visit the Village of Oak Park’s website at http://www.oak-park.us/ jobs. Interested and qualified applicants must complete a Village of Oak Park application.

IT OPERATIONS SPECIALIST

The Village of Oak Park is seeking qualified candidates for the position of IT Operations Specialist. The ideal candidate is responsible for the effective operation of information technology services and support across the organization. The IT Operations Specialist serves as a technical expert for the implementation, maintenance and support of systems and networks. The IT Operations Specialist plans and carries out various complex assignments and develops new methods and approaches in a wide variety of IT specialties. Evaluates new and enhanced approaches to deliver IT services; test and optimize the functionality of systems, networks, and data; and define technical requirements. The IT Operations Specialist is responsible for providing various forms of computer-related technical assistance and improving the efficiency of the work of the staff through the use of technology. Interested and qualified applicants can visit our website at http://www.oakpark.us/ for more details.

The Metropolitan Water Reclamation District of Greater Chicago will be accepting applications for the following classification(s):

Associate Structural Engineer (Original)

Additional information regarding salary, job description, requirements, etc. can be found on the District’s website at www.districtjobs.org or call 312-751-5100.

An Equal Opportunity EmployerM/F/D

VILLAGE OF RIVERSIDE SEASONAL EMPLOYMENT OPPORTUNITY

The Riverside Department of Public Works is seeking energetic, responsible, and motivated applicants who enjoy working outdoors. This is a part-time, seasonal position lasting from approximately May through September. Applicants will be expected to work up to 40 hrs. per week or as scheduled by staff. Primary tasks will include, but not limited to: cutting grass, maintaining athletic fields, general facilities maintenance, flushing hydrants, reading water meters, installing water meters, cleaning/televising sewers, assisting full-time employees, and other duties as assigned.

Applicants must be 18 years old, possess a valid Illinois driver’s license and high school diploma or equivalent. Applicants will be subject to a criminal background check, pre-employment physical and drug/ alcohol screening.

Applications can be downloaded from the Village website at www. riverside.il.us or picked up at the Riverside Village Hall located at 27 Riverside Rd, Riverside, IL 60546. Completed applications should be submitted to the Riverside Village Hall or the Riverside Public Works Department, 3860 Columbus Blvd, Riverside, IL 60546. Applications will be accepted until all positions are filled. Pay rate is $18/hr.

The Village of Riverside is an Equal Opportunity Employer.

FARMERS’ MARKET MANAGER

The Village of Oak Park is seeking qualified candidates for the position of Farmers’ Market Manager in the Health Department. This position manages the strategic planning and operation of the Oak Park Farmers’ Market; develops sustainable food strategies; and provides health and nutrition education, programming and promotion for the Village. During the Market season, this position would manage the internal staff and contractors needed to operate the Market, provides staff level support to the Farmers’ Market Commission, and manages vendor relations. The Market season runs from May through October, with the Market itself held outdoors each Saturday. During this time, the work week for this position is Tuesday through Saturday. Year-round, this position will provide nutrition education programming for the community in collaboration with the Health Education and Nursing divisions. Applicants are encouraged to visit the Village of Oak Park’s website at https://www.oakpark.us/jobs. Interested and qualified applicants must complete a Village of Oak Park application. Open until filled.

River Forest Public Schools

River Forest Public Schools District 90 currently seeking three paraprofessionals/ teacher aides to start immediately for the following roles:

• Special Education Teacher Aide - Full-time

• Special Education Teacher Aide - Part-time, 1:30pm - 3:15pm, Monday - Friday

•Early Childhood Special Education Teacher AidePart-time, 11:30am - 3:10pm, Monday - Friday

Qualifications: a) Current Illinois Paraprofessional License, Professional Educator License or Substitute License, b) Successful teacher assistant experience is preferred in regular education or special education.

Job Duties: The instructional assistant in Special Education will work with both general education and special education staff members to support learning for identified child(ren) with special needs. Responsibilities include instructing students in small groups and one-on-

River Forest Public Schools

one settings. This will also encompass helping students to develop positive interpersonal relationships with peers and adults: utilizing and modeling school behavior management programs: and assist in communications between students, teachers and parents as requested.

As an equal opportunity employer, it is the policy of the River Forest Public Schools, District 90, to not discriminate against any employee or any applicant for employment. District 90 values a talented and diverse workforce, and will attempt to recruit and hire minority employees.

Application Procedure: Interested candidates should complete the online application available at district90.org

River Forest Public Schools, D90 is seeking a temporary Summer School Nurse for Willard Elementary School.

• Start Date: June 20th – July 21st (No school July 4th)

Hours: 8:15am-3:15pm

Qualifications: (a) Registered Nurse License, (b) CPR certified; (c) experience working with children is preferred

Job Duties: The summer school nurse will provide direct professional nursing services, first aid, illness and emergency care to students and staff in response to the nursing assessment and in accordance with professional standards, school policy and procedures, and state and local mandates. He/she will administer or supervise the administration and proper storage of medication with

appropriate documentation. The nurse will review and evaluate records of students with medical conditions; maintain communication with parents and staff regarding children’s medical issues in accordance with procedural protocols as specified by the Illinois Department of Public Health. He/she will also perform other duties as assigned by the school principal.

Application Procedure: Interested candidates should complete the online application available at district90.org

HOURS: 9:00 A.M.– 5:00 P.M. MON–FRI
Deadline is Monday at 5:00 p.m.  
 
Growing Community Media


MARKETPLACE

ESTATE SALE

CARS WANTED

PUBLIC NOTICES PUBLIC NOTICES

de haber recibido la entrega legal de esta Citación y Petición para presentar una Respuesta (formulario FL-120) ante la corte y efectuar la entrega legal de una copia al demandante. Una carta o llamada telefónica o una audiencia de la corte no basta para protegerlo.

Si no presenta su Respuesta a tiempo, la corte puede dar órdenes que afecten su matrimonio o pareja de hecho, sus bienes y la custodia de sus hijos. La corte también le puede ordenar que pague manutención, y honorarios y costos legales.

WOODWORK

PUBLIC NOTICE Notice is hereby given, pursuant to “An Act in relation to the use of an Assumed Business Name in the conduct or transaction of Business in the State,” as amended, that a certification was registered by the undersigned with the County Clerk of Cook County. Registration Number: Y23010237 on February 27, 2023

Under the Assumed Business Name of DOUG MCGOLDRICK PHOTOGRAPHY with the business located at: 1034 WISCONSIN AVENUE, OAK PARK, IL 60304. The true and real full name(s) and residence address of the owner(s)/partner(s) is: DOUG MCGOLDRICK 1034 WISCONSIN AVENUE, OAK PARK, IL 60304.

Published in Wednesday Journal March 1, 8, 15, 2023

CLASSICS WANTED

CLASSICS WANTED

Restored or Unrestored

Cars & Vintage Motorcycles

Domestic / Import Cars:

Terry's Woodwork

Para asesoramiento legal, póngase en contacto de inmediato con un abogado. Puede obtener información para encontrar un abogado en el Centro de Ayuda de las Cortes de California (www.sucorte.ca.gov), en el sitio web de los Servicios Legales de California (www.lawhelpca.org) o poniéndose en contacto con el colegio de abogados de su condado.

NOTICE—RESTRAINING ORDERS

PUBLIC NOTICE STATE OF ILLINOIS VILLAGE OF BROOKFIELD

Notice of Public Hearing Village of Brookfield Planning and Zoning Commission March 23, 2023 at 7:00 PM

Mercedes, Porsche, Corvette, Ferrari’s, Jaguars, Muscle Cars, Mustang & Mopars

Collector James • 630-201-8122

$$ Top $$ all makes, Etc.

CLASSICS WANTED

Collector James 630-201-8122

of wood and fiberglass since 1977. Includes doors, woodwork, windows, staircases and new woodwork etc. All work done by hand. NO sanders. Your unfinished project my specialty! References available. Contact Terry Seamans at 630-379-7148 or terryseamans@yahoo.com

PUBLIC NOTICES

PUBLIC NOTICE SUMMONS (Family Law) CITACIÓN (Derecho familiar)

ARE ON PAGE 2: These restraining orders are effective against both spouses or domestic partners until the petition is dismissed, a judgment is entered, or the court makes further orders. They are enforceable anywhere in California by any law enforcement officer who has received or seen a copy of them.

AVISO—LAS ÓRDENES DE RESTRICCIÓN SE ENCUENTRAN EN LA PÁGINA 2: Las órdenes de restricción están en vigencia en cuanto a ambos cónyuges o miembros de la pareja de hecho hasta que se despida la petición, se emita un fallo o la corte dé otras órdenes. Cualquier agencia del orden público que haya recibido o visto una copia de estas órdenes puede hacerlas acatar en cualquier lugar de California.

NOTICE is hereby given that the Village of Brookfield Planning and Zoning Commission will conduct a public hearing on Thursday, March 23, 2023 at 7:00 p.m. in the Lower Level of Village Hall located at 8820 Brookfield Avenue, Brookfield, Illinois for the purpose of considering a request for variations from §62-75 Bulk, yard and space requirements and §62290 Required parking spaces of the Village Code for property located at 4512 Grove Avenue, Brookfield, Illinois 60513 (PINs 18-03-422-0320000 and 18-03-422-033-0000).

Domestic /

Cars: Mercedes, Porsche, Corvette, Ferrari’s, Jaguars, Muscle Cars, Mustang & Mopars

CASE NUMBER (NÚMERO DE CASO): HF22130927

NOTICE TO RESPONDENT (Name): AVISO AL DEMANDADO (Nombre): ANGELO C GALLARDO

FEE WAIVER: If you cannot pay the filing fee, ask the clerk for a fee waiver form. The court may order you to pay back all or part of the fees and costs that the court waived for you or the other party.

Legal Description: Lot 2 (Except the North 30 Feet and Except the South 30 Feet Thereof) in Block 2, in Pinkert’s State Road Addition, Being a Subdivision of the East ½ of the Southeast ¼ of Section 3, Township 38 North, Range 12, East of the Third Principal Meridian, In Cook County, Illinois.

OFFICE/RETAIL FOR RENT

$$ Top $$ all makes, Etc.

Collector James 630-201-8122

& Commercial 40 yrs. experience Fully insured (including Workmans Comp) 708-354-2501

Ritewaybrickglobal.net

You have been sued. Read the information below and on the next page.

Lo han demandado. Lea la información a continuación y en la página siguiente.

Petitioner’s name is: Nombre del demandante: MERCEDITA M. GALLARDO

You have 30 calendar days after this Summons and Petition are served on you to file a Response (form FL-120) at the court and have a copy served on the petitioner. A letter, phone call, or court appearance will not protect you.

If you do not file your Response on time, the court may make orders affecting your marriage or domestic partnership, your property, and custody of your children. You may be ordered to pay support and attorney fees and costs.

For legal advice, contact a lawyer immediately. Get help finding a lawyer at the California Courts Online SelfHelp Center (www.courts.ca.gov/ selfhelp), at the California Legal Services website (www.lawhelpca.org), or by contacting your local county bar association.

Tiene 30 días de calendario después

EXENCIÓN DE CUOTAS: Si no puede pagar la cuota de presentación, pida al secretario un formulario de exención de cuotas. La corte puede ordenar que usted pague, ya sea en parte o por completo, las cuotas y costos de la corte previamente exentos a petición de usted o de la otra parte.

1. The name and address of the court are (El nombre y dirección de la corte son): SUPERIOR COURT OF CALIFORNIA, 24405 AMADOR STREET, HAYWARD, CA 94544 - FAMILY LAW DIVISION

2. The name, address, and telephone number of the petitioner’s attorney, or the petitioner without an attorney, are: (El nombre, dirección y número de teléfono del abogado del demandante, o del demandante si no tiene abogado, son): SATNESH S. PRASAD, 607 LONGWOOD AVE., HAYWARD, CA 94541

Date (Fecha): OCT 21, 2022

CHAD FINKE, Clerk, by (Secretario, por) SARAH GOUVEIA, Deputy (Asistente)

[SEAL]

Published in the Wednesday Journal March 1, 8, 15, 22, 2023

The public is invited to attend the public hearing and present oral and/ or written comments. Written comments may be provided prior to 4:00 PM on the day of the public hearing to: Village of Brookfield, Planning and Zoning Commission c/o Kate Portillo, 8820 Brookfield Avenue, Brookfield, IL 60513, kportillo@brookfieldil.gov, or 708-485-1113. Oral or written testimony may be given during the public hearing.

The application may be viewed at the Village of Brookfield Village Hall during normal business hours. Please reference PZC Case 23-05. Public hearings may be continued from time to time without further notice except as otherwise required under the Illinois Open Meetings Act.

Individuals with disabilities requiring a reasonable accommodation in order to participate in any meeting should contact the Village of Brookfield (708) 485-7344 prior to the meeting. Wheelchair access is available through the front (South) entrance of Village Hall.

By the Order of Chuck Grund, Planning and Zoning Commission Chairman.

18 The Landmark, March 8, 2023 CLASSIFIED BY PHONE: (708) 613-3333 BY FAX: (708) 467-9066 BY E-MAIL: EMAIL@GROWINGCOMMUNITYMEDIA.ORG
Restored or Unrestored Cars & Vintage Motorcycles Domestic / Import Cars: Mercedes, Porsche, Corvette, Ferrari’s, Jaguars, Muscle Cars, Mustang & Mopars $$ Top $$ all makes, Etc.
Restored or Unrestored Cars & Vintage Motorcycles
Import
ELECTRICAL ELECTRICAL A&A ELECTRIC Let an American Veteran do your work We install plugs for battery-operated vehicles We fix any electrical problem and do small jobs We install Surge Protectors • Home Re-wiring • New Plugs & Switches Added • New circuit breaker boxes • Code violations corrected Service upgrades,100-200 amp • Garage & A/C lines installed Fast Emergency Service | Residential • Commercial • Industrial Free Home Evaluations | Lic. • Bonded • Ins. • Low Rates • Free Est. 708-409-0988 • 708-738-3848 Sr. Discounts • 30 Yrs. Exp. Servicing Oak Park • All surrounding suburbs • Chicago area Ceiling Fans Installed FLOORS KLIS FLOORING INC. New hardwood flooring installation & pergo. Sanding, re-finishing, staining. Low prices, insured. Call: 773-671-4996 • www. klisflooring.com RENTALS PAINTING CLASSIC PAINTING Fast & Neat Painting/Taping/Plaster Repair Low Cost • 708.749.0011 708-38 6-7 355 Best Selection & Service STUDIOS, 1, 2 & 3 BR OAK PARK & FOREST PARK WANTED TO BUY WANTED MILITARY ITEMS: Helmets, medals, patches, uniforms, weapons, flags, photos, paperwork, Also toy soldiers – lead, plastic – other misc. toys. Call Uncle Gary 708-522-3400 HOME SERVICES HANDYMAN 708-296-2060 Mike’s Home Repair Drywall H Painting H Tile Plumbing H Electric H Floors Windows H Doors H Siding Ask Us What We Don’t Do PETS cat
Oak Park’s Original Pet Care Service – Since 1986 Daily dog exercising Complete pet care in your home House sitting • Plant care BondedReferences While you’re away, your pets are okay . . . at home 708-524-1030
calls
Restoration On-site refinishing
Tuckpointing / Masonry Work
Specializing in Chimneys - Rebuild - Repaired
New Liner Installation Lintel Repairs &
RITEWAY BRICK RESTORATION Residential
~
-
Stone Veneer
BRICKWORK
Published in RB Landmark March 8, 2023 CEMENT CEMENT MAGANA CONCRETE CONSTRUCTION “QUALITY IS OUR FOUNDATION” ESTABLISHED IN 1987 COMMERCIAL INDUSTRIAL RESIDENTIAL 708.442.7720 FREE ESTIMATES LICENSED, BONDED & INSURED OAK PARK OFFICE CONDO FOR SALE OR LEASE Great downtown location. 900 sq ft 2 private and lge main office space List price 149,900 Lease 1,875 per mo. Call Diane Marchetti 708.828.0000 @properties Christie’s International RE
Maggie Professional Cleaning with 20 years experience, good references. Homes, Apartments, Condos and more. Call or text for free estimates 773-584-8366 PROFESSIONAL CLEANING
Estate Sale-Everything must go 3/10/23 and 3/11/23 8AM-2PM 1137 Clarence Oak Park CASH ONLY
All furniture, china, crystal, housewares, small electrics, lamps, artwork, picture frames, costumes, clothes, shoes, CDs,DVDs, books.

is: ERIN WILLIAMS 5927 W. CHICAGO AVE, CHICAGO, IL 60651

Published in Wednesday Journal March 8, 15, 22, 2023

PUBLIC NOTICE NOTICE of PUBLIC HEARING (PEID)

Notice is hereby given to all residents and property owners in the Village of Forest Park, Illinois and all users of the water system that a Public Hearing will be held at Forest Park Village Hall on Monday March 20,2023 at 4:00 P.M. The Village plans to construct the lead service line replacement project. This Public Notice is to provide an opportunity for the public to provide comments on the Village’s proposed construction. A project summary and Preliminary Environmental Impacts Determination (PEID) document provided by the Illinois Environmental Protection Agency (Illinois EPA) is available for review at Village Hall, 517 Des Plaines Avenue, Forest Park, IL 60130. The document contains information including the project costs, location, user rate impacts and potential environment impacts.

This Notice is to provide access to the documents and to satisfy Section 662.330 of the Illinois Procedures for Issuing Loans from the Public Water Supply Program from the Illinois EPA. These documents will be on file at the Village Hall after the Public Hearing to allow for public comment.

Written comments can be submitted up to 10-days following the public hearing to the Village or directly to Chad Rice at the Illinois EPA, Infrastructure Financial Assistance Section, P.O. Box 19276, Springfield, Illinois 62794-9276.

Vanessa Moritz, Village Clerk Forest Park 517 Des Plaines Avenue Forest Park, Illinois 60130

Published in Forest Park Review

March 8, 2023

PUBLIC NOTICES PUBLIC NOTICES PUBLIC NOTICES

PUBLIC NOTICE

The Village of Oak Park --Office of the Village Engineer, 201 South Boulevard, Oak Park, Illinois 60302-will receive electronic proposals until 10:00 a.m. on Thursday, March 30, 2023 for Project: 23-1, Sewer and Water Improvements. Bids will be received and accepted, and bid results posted via the online electronic bid service listed below.

In general, the improvements consist of water main replacement, fire hydrants, valves, water service replacements, sewer replacement, HMA pavement, curb & gutter removal and replacement, PCC sidewalk removal and replacement, pavement markings, and all appurtenant work thereto.

Plans and proposal forms may be obtained via the electronic service starting on Thursday, March 9, 2023

EQUAL HOUSING OPPORTUNITY

All real estate advertising in this newspaper is subject to the Fair Housing Act, which makes it illegal to advertise any preference, limitation or discrimination based on age, race, color, religion, sex, handicap, familial status or national origin, or intention to make any such preferences, limitations or discrimination.

e Illinois Human Rights Act prohibits discrimination in the sale, rental or advertising of real estate based on factors in addition to those protected under federal law.

is newspaper will not knowingly accept any advertising for real estate which is in violation of the law. All persons are hereby informed that all dwellings advertised are available on an equal opportunity basis.

Restrictions or prohibitions of pets do not apply to service animals.

To complain of discrimination, call HUD toll free at: 1-800-669-9777.

GROWING COMMUNITY MEDIA

at 10:00 a.m. Plans and proposal forms can be found at https://www. oak-park.us/your-government/ budget-purchasing/requestsproposals or at www.questcdn.com under login using QuestCDN number 8302906 for a non-refundable charge of $30.00. The Village of Oak Park reserves the right to issue plans and specifications only to those contractors deemed qualified. No bid documents will be issued after 4:00 p.m. on the working day preceding the date of bid opening.

The work to be performed pursuant to this proposal is subject to the Illinois Prevailing Wage Act, 820 ILCS 130/0.01 et seq.

Published in Wednesday Journal, March 8, 2023

A Public Notice is hereby given that the Village of Oak Park Community Development Citizens Advisory Committee (CDCAC) will be meeting for applicant presentations, a funding recommendations determination meeting and a public comment for the upcoming Program Year (PY) 2023 project proposals submitted to the Village for federal Community Development Block Grant (CDBG) grant funds. PY 2023 will run from October 1, 2023 to September 30, 2024. All meetings will be held at Village Hall—123 Madison—room 101 and are as follows: Presentations, 5:30 -9:00pm on April 18, April 20 and April 25; Meeting to determine funding recommendations and receive public comments on proposed funding recommendations, 6:00pm on May 9, 2023. All meetings are open to the public and reasonable accommodations will be made for persons with disabilities and non-English speaking persons as needed. Meeting specifics are subject to change; please send a message to grants@oak-park.us to confirm details.

Published in Wednesday Journal March 8, 2023

The Landmark, March 8, 2023 19 CLASSIFIED BY PHONE: (708) 613-3333 BY FAX: (708) 467-9066 BY E-MAIL: EMAIL@GROWINGCOMMUNITYMEDIA.ORG LEGAL NOTICE INVITATION TO BID The Park District of Oak Park will accept sealed bids for Apparel Services. The bid specifications will be available on the Park District’s website as of 10:00AM CST on Wednesday, March 8, 2023. Copies of the bidding specifications are available via the Park District of Oak Park website at: http://www.pdop.org/bids-and-rfps/ Bids must be placed in a sealed envelope marked “Apparel Services” and must be delivered on or before 2:30PM CST on Wednesday, March 22, 2023 to the John Hedges Administrative Center. Immediately thereafter, bids will be opened and read. For further information, contact Maureen McCarthy at Maureen.McCarthy@pdop.org. By: Maureen McCarthy Park District of Oak Park, 218 Madison Street, Oak Park, IL, 60302 Published in Wednesday Journal March 8, 2023 PUBLIC NOTICES PUBLIC NOTICES PUBLIC NOTICES Let the sun shine in...Public Notice: Your right to know In print • Online Available to you 24 hours a day, 7 days a week, every day of the year • OakPark.com • RBLandmark.com • ForestParkReview.com • AustinWeeklyNews.com • VFPress.news PublicNoticeIllinois.com Publish Your Assumed Name Legal Notice in • Austin Weekly News • Village Free Press • Wednesday Journal • Forest Park Review • Riverside/Brook eld Landmark Call the Experts Before You Place Your Legal Ad! Contact Kamil for details: kamil@growingcommunitymedia.org Starting a New Business? PUBLIC NOTICE Notice is hereby given, pursuant to “An Act in relation to the use of an Assumed Business Name in the conduct or transaction of Business in the State,” as amended, that a certification was registered by the undersigned with the County Clerk of Cook County. Registration Number: Y23010231 on February 23, 2023 Under the Assumed Business Name of BTE MOBILE NOTARY SERVICES with the business located at: 5927 W. CHICAGO AVE, CHICAGO, IL 60651. The true and real full name(s) and residence address of the owner(s)/partner(s)
THE VILLAGE OF OAK PARK Bill McKenna Village Engineer
LEGAL NOTICE PUBLIC NOTICES
20 e Landmark, March 8, 2023 When it comes to selling and buying homes... experience, results and ties to the community make all the difference. Curious about the current real estate market and the impact on your home’s value? Thinking about selling, but need to find your next home first? Can’t find your dream home in this competitive market? Contact one of our local market experts for a free, confidential consultation. 302 River Oaks Dr, Calumet City $300,000 21 E. BURLINGTON ROAD, RIVERSIDE | 708.447.7207 225 S Sangamon St #706, Chicago $485,000 308 Nuttall Rd, Riverside $500,000 380 Herrick Rd, Riverside $459,999 1516 S Wabash Ave, #902, Chicago $475,000 320 Nuttall Rd, Riverside $1,100,000 NEWLISTING 258 Nuttall Rd, Riverside COMINGSOON 4534 Arthur Ave, Brookfi eld $169,900 VACANTLOT 35 West Ave, #2S, Riverside $189,000 1510 Franklin Ave, River Forest $750,000 4332 N Bernard St, Chicago $630,000 2558 5th Ave, North Riverside $500,000 1519 William St, River Forest $697,000 1568 Aberdeen Ct, Naperville $319,000 465 Northgate Ct, Riverside $450,000 NEWLISTING

Turn static files into dynamic content formats.

Create a flipbook
Issuu converts static files into: digital portfolios, online yearbooks, online catalogs, digital photo albums and more. Sign up and create your flipbook.