Skip to main content

Essentials of Hip Dysplasia for Veterinarians Book

Page 1


Dr. Jill Lopez

Omar A. Lopez

Shannon Gregoire

Yagmur Karaman

Chief Executive

Dr. Jill Lopez

Vet Candy trademark and logo are owned by Vet Candy, LLC

All rights reserved. No part of this publication may be reproduced, distributed, or transmi ed in any form or by any means, including photocopying, recording, or other electronic or mechanical methods, without the prior wri en permission of the publisher, except in the case of brief quotations embodied in crucial review s and certain other non-commercial uses permi ed by copyright law. For permission requests write to hello@myvetcandy.com.

Hip Dysplasia in Dogs: Advancements in Diagnosis and Treatment

Hip dysplasia is a common and challenging orthopedic disease in dogs, particularly affecting larger breeds. The condition begins during a dog’s juvenile growth phase and results from a malformed and loose hip joint. It is one of the most common inherited diseases among dogs, with an incidence rate exceeding 70% in some pure breeds.¹

Understanding Hip Dysplasia:

Hip dysplasia occurs due to an instability of the joint during growth, leading to looseness and abnormal forces causing malformations of the joint. Hip dysplasia can have a significant impact on a dog's quality of life, leading to osteoarthritis and a myriad of physical and emotional challenges for both the dog and its owner.

Prevalence of Hip Dysplasia:

This condition affects both male and female dogs equally and can affect any large or giant breed dog. While it has been reported in smaller breeds, it is significantly less common in this group. Breeds most frequently affected by hip dysplasia include the German Shepherd, Rottweiler, Golden Retriever, Saint Bernard, Labrador Retriever, and Newfoundland.

Disease Onset and Forms:

Contrary to common belief, hip dysplasia begins in a dog's puppyhood, resulting from an underlying abnormality – hip joint laxity. This joint instability leads to progressive degeneration and clinical signs of osteoarthritis. Some puppies may exhibit signs as early as three months old, while others may remain symptom-free for years. Hip dysplasia is often categorized into two forms based on the age of clinical onset: juvenile and mature.

Diagnosis and Treatment:

Diagnosis of hip dysplasia relies on clinical signs, radiographic evaluations, and consideration of the dog's age. Clinical signs may include rear leg pain, limping, a wobbly gait, and difficulty rising from a lying position. To make a definitive diagnosis, X-rays are necessary, typically requiring anesthesia for proper positioning. Common radiographic organizations such as the OFA and PENN Hip, are used to evaluate and screen the severity of hip dysplasia for pet owners and breeders.

Reference: Loder RT, Todhunter RJ. The Demographics of Canine Hip Dysplasia in the United States and Canada. J Vet Med. 2017;2017:5723476. doi: 10.1155/2017/5723476. Epub 2017 Mar 12. PMID: 28386583; PMCID: PMC5366211.

Treatment options range from medication to surgery, depending on the severity of the condition. Medications, such as non-steroidal anti-inflammatory drugs (NSAIDs) and steroids, provide pain relief but do not cure the condition. Multiple surgical procedures are used for dogs with severe hip dysplasia, aiming to enhance joint function, reduce pain, and prevent or slow the progression of arthritis.

Featuring Dr. Sarah Israel Gaines

Femoral Head and Neck Excision Arthroplasty: This procedure involves removing the femoral head and neck, creating a new "false" joint. This procedure is basically a salvage procedure and more suitable for smaller dogs. This procedure will not have the same results of the other two procedures described below, but is an option for small dogs with cost is an issue.

A majority of smaller patients return to near normal

Not very effective in large dogs

Total Hip Replacement:

Total hip replacement is heralded as the gold standard for hip dysplasia treatment. During this procedure, the entire hip joint is replaced with a stainless steel or titanium stem and a polyethylene cup, using either bone cement or pressfit with bone ingrowth.

Total hip replacement is particularly well-suited for medium and large dogs with significant hip joint changes and even those with 0-10% femoral head coverage. The advantage of a total hip replacement, it can be done in any size dog at at any age, once the dog is skeletally mature.

Recent advancements in diagnosing and treating hip dysplasia offer hope for affected dogs and their owners. By staying updated on the latest developments in surgical interventions, veterinarians can provide tailored care, enhance joint function, and improve the quality of life for their patients. The goal of surgery is to return dogs to a pain-free, mechanically sound, and normal hip function, allowing them to enjoy life to the fullest. These advancements are making a significant difference in the lives of dogs suffering from hip dysplasia.

In this procedure, the pelvis is cut in three places to reposition the acetabulum, covering the femoral head. It is a favorable choice for young dogs with mild to moderate dysplasia. There is also a double pelvic osteotomy where the pelvis is cut in two places.

May prevent or reduce the progression of arthritis

Preserves natural hip joint

Restricted patient selection

Before they have arthritis

Usually under 1 year of age

Not successful for severely dysplastic patients

THE Secrets of Hip Dysplasia: Unlocking

What Dogs and Humans Have in Common Will Amaze You

Hip dysplasia (HD) is a common condition shared by both humans and dogs, and this connection is rooted in their shared evolutionary ancestry, resulting in similarities in their anatomical structures at both microscopic and macroscopic levels. This article explores the commonalities in the anatomy, causes, development, diagnosis, and treatment of HD in both species.

Read full article by clicking here

Both humans and dogs have a comparable musculoskeletal structure, despite differences in their gait (bipedal in humans and quadruped in dogs). HD is recognized as canine hip dysplasia (CHD) in dogs and developmental dysplasia of the hip (DDH) in humans. The prevalence of HD varies in both populations, with several shared genetic and environmental factors influencing its occurrence. These include factors such as breed, genetics, nutrition, and hormonal influences.

Diagnosing HD involves similar methods in humans and dogs, with radiography being the primary diagnostic tool. Radiographic parameters such as the center-edge (CE) angle and the Norberg angle are used to assess hip dysplasia in both species.

Cross-species research has benefited both human and veterinary medicine. Innovations in materials and implant designs for THA, initially developed for humans, have improved the outcomes of THA in dogs. In turn, developments in veterinary medicine, such as new concepts for implant fixation, have the potential to influence human orthopedic procedures.

In conclusion, despite some variations in treatment options, there are significant similarities in the anatomy, causes, and treatment of hip dysplasia in humans and dogs. Collaboration and information exchange between the two fields of research can potentially lead to improved treatments for both species.

Minimize reprocessing cycles Protect your investment in instrumentation

Foundational Knowledge For Referring

Total Hip Replacement

Total Hip Replacement (THR) is designed to return pets to a normal-functioning, pain-free life. THR technology and technique have evolved to make it the gold-standard treatment for hip dysplasia and severe osteoarthritis.

Following completion of this online course, you will be able to:

• Diagnose Hip Dysplasia

• Understand the evolution of THR

• Review the THR systems available

• Explain and discuss THR with clients

• Understand the importance of radiography and how to achieve ideal images

best patient outcomes

Length: 1 hour | On-demand

CE Credit: 1 [RACE-Approved]

Audience: Veterinarians

Cost: $0 when you use code MOVORATHR at checkout

Scan this QR code: [also enjoy free FAQ downloads about THR]

Our groundbreaking, on-demand, one hour webinar is designed to provide the necessary information for referring dogs and cats for THR. movora.com

NEW STUDY LOOKS AT THE DEMOGRAPHICS OF CHRONIC HIP DYSPLASIA IN DOGS

Canine hip dysplasia (CHD) is a widespread issue in the field of veterinary medicine, affecting various dog breeds. Drawing parallels with the human condition known as developmental dysplasia of the hip (DDH), this article explores the demographic characteristics of CHD using an extensive registry compiled by the Orthopedic Foundation for Animals (OFA). Analyzing these demographics can provide valuable insights into the prevalence and potential solutions for CHD, while also contributing to cross-disciplinary research between canine and human hip dysplasia.

The study utilizes the complete hip dysplasia registry maintained by the OFA up to April 2015, encompassing a vast dataset of 921,046 unique records. Dogs are categorized based on the American Kennel Club (AKC) and Fédération Cynologique Internationale (FCI) systems to ensure genetically related groups are analyzed separately. The analysis considers factors such as sex, breed, birth season, hip scores, and latitude.

ResultsKey findings from the analysis include:

1. Prevalence: The overall prevalence of CHD in the study stands at 15.56%, underscoring its significance in the dog population.

2. Gender: Female dogs are slightly more likely to develop CHD, as indicated by an odds ratio (OR) of 1.05.

3. Season of Birth: Dogs born in spring and winter have a higher likelihood of CHD, with respective ORs of 1.14 and 1.13.

4. Latitude: Geographic location plays a role, with dogs in more southern latitudes exhibiting a higher risk of CHD (OR 2.12).

5. Breed Groups: Both the AKC and FCI systems show varying CHD prevalence across breed groups. For instance, working dogs in the AKC system have the highest risk (OR 1.882), with hounds as the reference group. In the FCI system, the pinscher/molossoid group has the highest risk (OR 4.168), with sighthounds as the reference group.

The similarities between CHD and DDH are remarkable, particularly in terms of demographic patterns. While DDH manifests in two forms, infantile and late-onset adolescent/adult acetabular dysplasia, CHD demographics align more closely with the latter. Comparative studies between these two conditions can offer a better understanding of both CHD and DDH. This comprehensive analysis of the OFA's CHD registry provides crucial insights into the demographics of this prevalent canine condition. By understanding the factors contributing to CHD's prevalence, future research can be better informed, potentially leading to preventive measures. The parallels between CHD and DDH highlight the importance of interdisciplinary studies to benefit both human and canine health.

Read more by clicking here

Large or Small. Young or Young at Heart.

Total Hip Replacement is now the gold-standard treatment for a wide range of debilitating hip conditions.

Join us for a free webinar to learn more.

Total Hip Replacement (THR) isn’t just superior to medical management; it’s a paradigm shift. It is a one-time procedure that restores normal joint function. This translates to freeing your canine and feline patients from a lifetime of medications and therapies, and the potential complications that come with them. Our groundbreaking on-demand webinar is designed to provide the necessary information for referring dogs and cats for THR:

Foundational Knowledge for Referring Total Hip Replacement

• Diagnose Hip Dysplasia

• Understand the evolution of THR

• Review the THR systems available

• Explain and discuss THR with clients

• Understand the importance of radiography and how to achieve ideal images

• best patient outcomes

Cost: $0 when you use code MOVORATHR at checkout

CE Credit: 1 [RACE-Approved]

Audience: Veterinarians Length: 1 hour | On-demand

movora.com

Scan this QR code: [also enjoy free FAQ downloads about THR]

Revolution: Elevating Pet Care

The degenerative changes in young dogs with severe res performed as early as seven months of age. Most commonly, we see THR applied to young dogs aged 9-12 months with severe dysplasia disease, and res are replaced with carefully selected artificial hip lants, tailored to the specific needs of each patient. This surgery is like a beacon of hope, envisioning a world where our furry companions can run, jump,

COMPARATIVE STUDY: XYLAZINE VS. DEXMEDETOMIDINE IN CANINE HIP DYSPLASIA DIAGNOSIS

Hip dysplasia, a common issue among large dog breeds, can be a source of discomfort and suffering for our four-legged friends. To aid in its diagnosis, a recent study sought to compare the effects of two sedative combinations, xylazine and fentanyl (XF), and dexmedetomidine and fentanyl (DF), when used alongside a joint distractor for radiographic assessment.

The study involved fifteen healthy dogs, specifically German Shepherds and Belgian Shepherds, which are known to be prone to hip dysplasia. These canines were randomly assigned to receive either a combination of 0.2 mg/kg xylazine and 2.5 µg/kg fentanyl or 2 µg/kg dexmedetomidine and 2.5 µg/kg fentanyl, administered intravenously.

Results: ,,

The study revealed the following key findings:

Cardiovascular and Respiratory Effects: Both XF and DF combinations led to a significant reduction in heart rate, pH, PaCO2, PaO2, and SaO2, indicating effective sedation.

Sedation Quality: Quality of sedation did not differ significantly between the two groups, suggesting that both xylazine and fentanyl, as well as dexmedetomidine and fentanyl, offer adequate sedation for diagnostic radiographic procedures.

Latency, Duration, and Recovery: There were no statistically significant differences in the time it took for sedation to set in, its duration, or the recovery times between the XF and DF groups.

This study's results underscore the effectiveness of both XF and DF combinations in achieving the required sedation and analgesia levels for diagnostic radiography in hip dysplasia assessment.

The similarity in outcomes between the two sedation protocols implies that veterinarians have flexibility in choosing between xylazine or dexmedetomidine, depending on patient preferences or specific requirements.

In the realm of canine hip dysplasia diagnosis, the choice between xylazine and fentanyl or dexmedetomidine and fentanyl combinations appears to be a matter of preference. Both combinations have shown their mettle in providing suitable sedation and analgesia for radiographic procedures. However, it's worth noting that providing oxygen supplementation can be a beneficial safety measure during these protocols. Ultimately, this study provides valuable insights for veterinary practitioners seeking to enhance the comfort and well-being of their canine patients during hip dysplasia evaluations.

compression plate) and locking plates (LP) is the mechanism by which the plates interact with the bone. With DCP, the force of friction between the plate and the bone, by way of the compression of the plate onto the bone surface by the screw tightening, is what creates the stiffness of the construct. It is essentially a "load-sharing" construct. When a plate is placed on a bone, as each screw is tightened into the bone, the friction created by the thread-bone interface allows the screw to pull the plate down to the bone and tighten it to the bone surface. As it is tightened, the force of friction at the plate-bone interface creates the strength of the construct.

With LP, the concept of a load-sharing construct based on friction between the plate and the bone does not apply. The easiest way to think of LP are to consider them "internal fixators". The screws have a special set of threads that lock into the plate. As the screws are placed though the plate, into the bone, there is no compression of the plate onto the bone, because the screws lock into the plate instead of the screws pulling the plate down onto the bone. In this situation, a fixed angle construct is created, where the forces are carried by the implant and not shared, as in the case with DCP. A helpful visual is to think of a classic external fixator where the pins and bar travel out and down external to the limb. The forces travel down the bone, across the pin, down the bar and then back the other pin to the bone again. This is exactly what happens with LCP. The weight bearing forces travel from the bone to the screw to the plate and then back again at the other end. Bypassing the bone where the plate is. This explains LCPs popular use for comminuted fractures where load sharing either isn’t possible or is very complex to recreate.

One of the things that has driven the development and refinement of locking plates is the paradigm shift of rigid anatomic fixation of fractures to minimally invasive alignment and relative stability.

According to initial AO principles of fracture fixation, the goal was essentially to piece back together the entire fracture and rigidly stabilize it with a DCP. Over

Lastly, there are some LP that are considered combi-hole, in which the screw hole can

Featuring Dr. Sarah Israel Gaines

This timeframe mirrors a time of large growth in the field of human orthopedics, particularly after World War II, where there were rapid advancements in surgical techniques and implant technology. These advancements eventually began to influence veterinary medicine. Prior to this, veterinary medicine focused on treating infections and disease with surgery being rare and limited to simple procedures with much of the focus being on horses rather than what we consider our pets or companion animals today.

Early implants were often adaptations of available human orthopedic devices. One of the earliest forms of implants used in both human and veterinary orthopedics were bone plates and screws. These were initially simple metal plates attached to bones with screws to stabilize fractures. Another early type of implant was the intramedullary pin. These pins were inserted into the medullary cavity of long bones to provide internal support for fractured bones. While these types of implants have changed significantly since their introduction, they are still commonly used today for fracture repair in human and veterinary medicine.

Over time, veterinarians and researchers recognized the need for species-specific implant designs due to differences in anatomy, size, and biomechanics among various animals. The development of veterinary orthopedic surgery and its implants was influenced by the availability of materials, surgical techniques, and the evolving understanding of animal anatomy and biomechanics.

The first use of orthopedic implants in veterinary medicine is not well documented. Significant development of veterinary specific implants began in the mid-20th century. With the increased value placed on companion animals and the growth of veterinary medicine as a profession, more attention was given to treating musculoskeletal issues in animals. This led to the introduction of orthopedic implants specifically designed for animals.

The field has seen significant advancements since these early implants, with current technologies including highly specialized, species-specific, and even custom-made implants for a wide range of orthopedic issues in animals. The latter part of the 20th century and the early 21st century saw significant technological advancements with materials like stainless steel, titanium, and biocompatible polymers becoming common.

While not among the first implants developed for veterinary medicine, one significant milestone in veterinary orthopedic implants was the development of total hip replacement (THR) surgery for dogs. The first THR in a dog was performed in 1957, marking the beginning of a transformative era in veterinary orthopedics. Since then, the technology and techniques have evolved, offering improved quality of life for animals suffering from hip joint issues. Total hip replacement involves replacing both the ball (head of the femur) and socket (acetabulum) of the hip joint with prosthetic implants. The prosthetic ball is typically made from a cobalt-chromium metal alloy, and the socket from high molecular weight polyethylene plastic. These implants are held in place using special bone cement, or are cementless and press fit into the bone.

THR in dogs is a surgical procedure designed to alleviate pain and restore normal joint function in cases of hip dysplasia, traumatic hip luxation, fractures of the femoral head or neck, or avascular necrosis of the femoral head leading to arthritis that cannot be well managed with medical treatment. Today, total joint replacement, particularly THR is commonplace. It is even performed in cats. There are also implants available for partial elbow resurfacing, total elbow replacement, total knee replacement, and total ankle replacement, though these are less commonly performed than THR.

In the commercial space, companies like BioMedtrix (BioMedtrix Whippany, NJ) have played a crucial role in the development of veterinary orthopedic implants. BioMedtrix has over 36 years of experience in developing human and veterinary implants, with several patented designs for the canine hip, knee, elbow, and trauma. They introduced the CFX® (Cemented Fixation) total hip system in 1990 and the BFX® (Biologic Fixation) in 2003. Other implants systems are available for THR including the Kyon Zurich Cementless Total Hip Replacement system (Kyon AG, Zurich, Switzerland) the Helica TPS system (Innoplant Medizintechnik GmbH, Hannover, Germany). Which implant system is used for total joint replacement, or fracture repair, is at the surgeons discretion and may include considerations such as geographic location (not all implants are available in all locations), and most importantly, surgeon comfort level and training with specific implant systems.

In more recent decades, mirroring human orthopedic surgery, veterinary orthopedics has began adopting minimally invasive techniques, such as arthroscopy, leading to faster recovery times and reduced complications. Today, the advent of 3D printing technology has revolutionized veterinary orthopedics. Custom implants and surgical guides can be created for individual animals based on their specific anatomical needs, improving the efficacy of surgeries. This includes custom total joint implants and patient specific plates for fracture repair or corrective osteotomy for angular limb deformities. Ongoing research in biomechanics, material science, and surgical techniques continues to advance the field. There's a growing focus on improving the longevity and biocompatibility of implants, as well as developing regenerative medicine techniques to complement traditional surgical approaches.

The field of veterinary orthopedics continues to evolve, with ongoing research and development. This is evident in the advancements in implant technology, surgical techniques, and postoperative care, significantly improving the outcomes for animals undergoing these procedures. Today, we can offer state of the art surgery to improve our patient’s well-being and mobility due to the technological advances in implants available.

References

1. Evans RB, Gordon-Evans WJ, Conzemius MG. Comparison of three methods for the management of fragmented medial coronoid process in the dog. A systematic review and meta-analysis. Vet Comp Orthop Traumatol. 2008;21(2):106-9. PMID: 18545711.

2. Hoelzler MG, Millis DL, Francis DA, Weigel JP. Results of arthroscopic versus open arthrotomy for surgical management of cranial cruciate ligament deficiency in dogs. Vet Surg. 2004 Mar-Apr;33(2):146-53. doi: 10.1111/j.1532-950X.2004.04022.x. PMID: 15027976.

3. Olmstead ML. Total hip replacement. Vet Clin North Am Small Anim Pract. 1987 Jul;17(4):943-55. doi: 10.1016/s0195-5616(87)50086-9. PMID: 3303636.

4. Guerrero TG, Montavon PM. Zurich cementless total hip replacement: retrospective evaluation of 2nd generation implants in 60 dogs. Vet Surg. 2009 Jan;38(1):70-80. doi: 10.1111/j.1532-950X.2008.00466.x. PMID: 19152619.

5. Denny HR, Linnell M, Maddox TW, Comerford EJ. Canine total hip replacement using a cementless threaded cup and stem: a review of 55 cases. J Small Anim Pract. 2018 Jun;59(6):350-356. doi: 10.1111/jsap.12827. Epub 2018 Mar 25. PMID: 29574978.

6. Conzemius MG, Vandervoort J. Total joint replacement in the dog. Vet Clin North Am Small Anim Pract. 2005 Sep;35(5):1213-31, vii. doi: 10.1016/j.cvsm.2005.05.006. PMID: 16129140.

7. Jarry J, De Raeve Y, Dugdale A, Simon V, Vandeweerd JM. An Ex Vivo Pilot Study to Assess the Feasibility of 3D Printing of Orbital Implants in Horses. J Equine Vet Sci. 2023 Sep;128:104826. doi: 10.1016/j.jevs.2023.104826. Epub 2023 May 26. PMID: 37244633.

8. FAQ: Dog Hip Replacement. https://vet.osu.edu/vmc/companion/our-services/orthopedic-surgery/faq-t otal-hip-replacement

9. The Total Hip Replacement. https://biomedtrix.com/total-hip-replacement/

Movora

Investigating Radiographic Parameters for Canine Hip Dysplasia: A

Breed-Specific Study

Canine hip dysplasia (CHD) remains a prevalent concern among dog owners and veterinarians, characterized by joint laxity and incongruent joint conformation. Detecting CHD early is challenging, leading to economic losses and impaired performance, especially in competitive dogs. Radiography plays a crucial role in CHD screening, evaluating parameters like femoral head area (FHA), femoral coverage by the acetabulum (CFH), and cranio-caudal distance of the dorsal acetabular rim (CrCdAR). This study aimed to explore the relationship between these parameters and CHD status in three high-risk breeds: German wirehaired pointers (GWP), German shepherd dogs (GSD), and Labrador retrievers (LAB).

Methods: A total of 264 skeletally mature dogs underwent hip dysplasia screening using radiographs. FHA, CFH, and CrCdAR were measured and related to Fédération Cynologique Internationale (FCI) dysplasia scores. Statistical analysis included breed, sex, and FCI score as factors.

Results: Significant breed, sex, and FCI score interactions were observed for FHA, CFH, and CrCdAR. FHA tended to decrease with worsening FCI scores, but no significant relationship with dysplasia assessment was found. Breed-specific differences were noted, with GWP and GSD exhibiting larger FHA compared to LAB. CFH showed significant relationships with breed, sex, and FCI scores, aiding in distinguishing dysplastic from non-dysplastic hips. CrCdAR length varied across breeds and sexes but did not reliably predict CHD severity. Strong positive correlations were found between FHA and CrCdAR length, suggesting proportional bony components in hip joints.

FHA and CFH are breed-specific parameters influenced by sex, with males generally having larger values. While FHA correlates with acetabular size, it does not consistently differentiate between dysplastic and non-dysplastic hips. CFH emerges as a valuable indicator for CHD assessment, especially in LAB. Further research is warranted to validate these findings and explore additional parameters for CHD screening and breeding selection strategies.

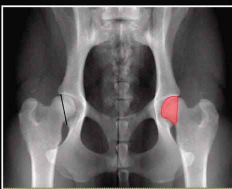
Figure 1

Ventrodorsal pelvic radiograph of normal coxofemoral joints (left) indicating the cranio-caudal distance of the dorsal acetabular rim (CrCdAR), the shortest distance (black line) between the craniolateral edge and the caudolateral edge of the acetabulum and (right) surface coverage of femoral head (CFH, red area). Photo credit PMC

Breed-specific evaluation of serum biochemical markers in canine hip dysplasia

Canine hip dysplasia (CHD) remains a significant concern globally, warranting improved diagnostic strategies. This study delves into the potential of serum biochemical markers to differentiate between healthy Tornjak dogs and those with hip dysplasia, aiming for a breed-specific approach.

Study DETAILS:

• Participants: 99 Tornjak dogs were categorized based on radiographic findings: 51 with no signs of CHD and 48 with mild to severe CHD.

• Methods: Serum levels and enzyme activity of hyaluronic acid (HA), procollagen II C-terminal propeptide (PIICP), and metalloproteinase 9 (MMP9) were compared between the two groups using statistical analyses.

• Results: Dogs with CHD showed lower HA levels and higher levels of PIICP and MMP9 activity compared to healthy dogs, with significant differences noted. These markers exhibited high sensitivity and specificity in distinguishing between the two groups.

Clinical Implications:

• The study suggests that serum levels of HA, PIICP, and MMP9 activity could serve as effective diagnostic markers for CHD in Tornjak dogs.

• Breed-specific studies like this provide valuable insights for veterinarians and breeders, aiding in early detection and informed breeding decisions.

• Understanding the biochemical profile of CHD enhances our ability to manage and mitigate the impact of this orthopedic condition in dogs.

This pioneering research underscores the potential of serum biochemical markers in diagnosing CHD in Tornjak dogs. By leveraging these markers, veterinarians can enhance their diagnostic toolkit, ultimately improving the health and welfare of affected animals.

of Grades for

A critical aspect of breed assessment lies in evaluating the hip joint, a pivotal element in a dog's locomotion and overall health. The FCI employs a grading system ranging from A to E to classify hip dysplasia (HD), utilizing three distinct methods developed by renowned experts. Despite this standardized approach, questions linger regarding the influence of breed-specific conformation on radiographic changes associated with HD.

Recent research delved into the morphologic and radiographic changes occurring during HD development across various FCI-recognized breeds. However, the potential variations between breeds, rooted in their distinct morphological characteristics, remained unexplored. Hence, this study endeavors to unravel the nuanced differences in primary radiographic signs of HD among different FCI grades, shedding light on the possibility of breed-specific criteria for assessment.

Exploring Breed-Specific Radiographic Variations in Five Dog Breeds Hip Dysplasia Characterization

In the intricate world of canine diversity, the Fédération Cynologique Internationale (FCI) stands as a beacon, recognizing 356 breeds, each with its unique heritage and characteristics. Within this vast tapestry of breeds, the FCI meticulously defines the ideal breed standards, crafted through collaboration between its scientific commission and the respective countries of origin. This standardization extends to the classification of breeds into ten groups based on their physical attributes and abilities.

Embarking on this radiographic odyssey, researchers focused on five diverse breeds, each representing a unique conformational profile within the FCI classification. By scrutinizing primary radiographic signs across FCI grades—non-dysplastic (FCI-A), near-normal (FCI-B), and mildly dysplastic (FCI-C)—the study aimed to decipher potential breed-specific nuances in HD manifestation.

Radiographic analysis unveiled a wealth of information encoded within the hip joints of these distinct canine breeds. From alterations in acetabular shape and femoral head morphology to changes in the Norberg angle, each radiographic sign painted a vivid portrait of HD progression. Yet, amidst this complexity, researchers sought to discern patterns that could elucidate breed-specific variations in HD presentation.

Into Canine Biomechanics Discovering Insights

As the study unfolded, researchers meticulously compared radiographic findings across breeds, seeking to unravel the intricate interplay between conformation and biomechanics. While no statistically significant alterations emerged in primary radiographic aspects across breeds, subtle nuances hinted at the influence of morphological diversity on biomechanical dynamics.

In essence, the study's findings underscored the remarkable uniformity in HD assessment criteria across breeds. Yet, beneath this veneer of uniformity lay a tapestry of breed-specific intricacies, subtly woven into the fabric of each radiographic image. These nuances, while not altering the overarching assessment criteria, offered valuable insights into the interplay between form and function in canine locomotion.

Diversity in Canine Assessment Conclusion: Embracing

In the culmination of this radiographic exploration, researchers found no compelling evidence to warrant breed-specific criteria for HD assessment. However, the journey unearthed a treasure trove of insights into the intricate relationship between conformation and biomechanics across diverse canine breeds.

HIP JOINT IN NON-DYSPLASTIC

STRUCTURES OF THE AND DYSPLASTIC DOGS AS CONFIRMED BY RADIOGRAPHIC EXAMINATION

Canine hip dysplasia (CHD) is a complex ailment characterized by the gradual destabilization of the hip joint due to structural abnormalities. While both genetic predisposition and environmental factors contribute to its development, the condition predominantly affects medium- to large-sized dog breeds, often leading to symptoms like hind limb lameness and muscular atrophy.

Radiographic imaging stands as the primary diagnostic modality, offering insights into bone changes associated with the disease. Notably, organizations like the Orthopedic Foundation for Animals (OFA) utilize extended hip projections to assess hip health in mature dogs, while alternatives like the PennHip method cater to younger patients.

In a recent study, researchers explored the role of periarticular muscles in CHD using advanced ultrasound techniques such as B-mode and ARFI elastography. Their objective was to evaluate tissue stiffness and joint capsule thickness in dysplastic and non-dysplastic dogs.

The study uncovered several intriguing findings. ARFI elastography revealed increased stiffness in the pectineus muscle of dysplastic young dogs, suggesting a potential link between muscle rigidity and hip dysplasia. Meanwhile, B-mode ultrasound demonstrated significant associations between joint capsule thickness and disease status across different age groups.

Despite the promising implications of ultrasound in CHD diagnosis, challenges persist, including the need for further validation and standardization. However, these findings underscore the potential of ultrasound as a non-invasive adjunctive tool in diagnosing and screening CHD, offering valuable insights for veterinary practitioners.

In summary, this research highlights the diagnostic utility of ultrasound in CHD management, emphasizing the importance of a comprehensive imaging approach for enhanced patient care and treatment outcomes in dogs affected by this debilitating condition.

in the Maine Coon cat Demographics of hip dysplasia

Unveiling the Demographics of Feline Hip Dysplasia: Insights from a Maine Coon Cat

Hip dysplasia, a well-documented concern in canine health, has garnered significant attention in veterinary circles. However, within the feline realm, this condition remains relatively unexplored, with limited studies shedding light on its prevalence and characteristics. A pioneering research endeavor, spearheaded by the Orthopedic Foundation for Animals (OFA), delved into this enigmatic territory, focusing on the Maine Coon cat breed, renowned for its regal stature and distinctive charm.

Key Findings:

Implications and Limitations:

This study represents the largest demographic analysis of FHD within the Maine Coon cat population. However, caution is warranted when extrapolating these findings to other feline breeds or distinct groups of Maine Coon cats. The study underscores the need for further research encompassing diverse breeds and geographical regions to comprehensively understand the demographics of FHD.

Drawing from the extensive hip dysplasia registry compiled by the OFA through April 2015, researchers analyzed data from 2,732 unique cats, the overwhelming majority (99.1%) of which were Maine Coons. The study scrutinized variables such as sex, month/season of birth, and hip dysplasia score, categorizing cats into two groups: those with and without feline hip dysplasia (FHD). Statistical significance was set at P <0.05.

• Prevalence and Severity: Among the 2,548 Maine Coon cats with non-borderline hip scores, FHD was detected in 24.9% of cases. Males exhibited a slightly higher prevalence (27.3%) compared to females (23.3%). Notably, dysplasia severity increased with age, particularly in bilateral cases.

• Age and Dysplasia: The majority of radiographs (96.2%) were taken between 4 and 60 months of age, with the youngest cat diagnosed with FHD at 4 months. Cats without FHD were statistically younger than those with the condition, indicating a correlation between age and dysplasia.

• Bilateral Involvement: Bilateral FHD accounted for 56% of cases, with no significant difference between sexes. However, bilateral cases exhibited more severe dysplasia compared to unilateral cases.

• Impact of Birth Season and Geography: Month/season of birth and geographic region showed no significant influence on FHD prevalence, suggesting deeper genetic or breed-specific predispositions at play.

As the veterinary community continues to unravel the complexities of feline health, this study serves as a crucial milestone in the quest to decipher FHD. By shedding light on its prevalence and characteristics within the Maine Coon breed, clinicians gain valuable insights to inform clinical practice and breed management strategies. Moving forward, collaborative efforts across disciplines and geographic regions will be essential to advance our understanding of this multifaceted condition and enhance feline welfare on a global scale.

Featuring Dr. Sarah Israel Gaines

Although surgical options are preferred to minimize long-term discomfort, medical management is an option for some patients. Medical management for hip pain includes chronic non-steroidal anti-inflammatory medication, joint supplements, weight management, and low-impact exercise modification or physical rehabilitation, which may temporarily help with discomfort. However, none of these modalities stop the progression of osteoarthritis, affecting quality of life and leading to poor long-term outcomes. Financial constraints may limit surgical options; however, a recent study reported higher lifetime costs associated with medical management compared to surgical intervention.3

The surgical salvage option of femoral head and neck ostectomy (FHO) aims to eliminate the pain associated with hip disease. However, patients with an FHO lose normal joint kinematics due to their shorter limb, causing functional lameness and pseudarthrosis. Few long-term studies are available to objectively evaluate outcomes after FHO, but one landmark study recognized that up to 42% of FHO patients had a poor long-term outcome, with 75% having residual muscle atrophy and restricted range of motion.4 Complete rehabilitation of the musculature and restoration of ground reaction forces does not occur after FHO4 as it does following total hip replacement.⁵

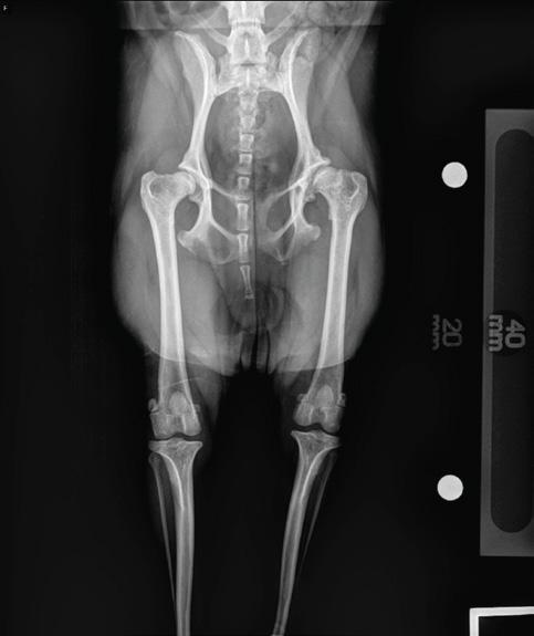
Hip dysplasia is one of the most common skeletal disorders and causes of lameness in dogs. Many companion animals suffer from debilitating hip dysplasia, leading to hip subluxation with secondary osteoarthritis (see figure 1 and photo- pre and post-operative 2-year-old 2.8kg Brussels). Other causes of hip pain may be secondary to traumatic round ligament tear, hip luxation, osteonecrosis, or femoral head or neck fracture. Avascular necrosis of the femoral head and neck (Legg-Calve-Perthes disease) and slipped femoral capital epiphysis (SFCE) are conditions more prominent in small breed dogs and cats. Maine Coons and male, neutered cats have an increased predisposition for SFCE, with up to 36-41% of affected cats having bilateral disease.¹,²

The age-old myths of femoral head and neck ostectomy are that patients “do great,” complication rates are low because there are no implants, and that it is easy and quick to perform. What is often not discussed is the persistent lameness, unpredictable outcomes, and limb shortening that occurs with FHO. A paradigm shift is needed to recommend total hip replacement for veterinary patients as we would advocate for our own human family members. The number of hip replacements performed annually worldwide in humans is estimated to be over 1 million, in stark contrast to the estimated 85,000 joint replacement procedures performed on companion animals since 1989.⁶

Most hip replacement patients bear weight on the surgical limb immediately after surgery, in contrast to FHO, which requires physical rehabilitation to regain limb use and range of motion. THR patients have immediate normal joint biomechanics and often feel “too good, too soon” during the early osteointegration period, requiring strict owner compliance with leash restriction and avoidance of slick floors.

The goal of this article is to increase awareness in our veterinary population and general public about the availability and excellent outcomes with total hip replacement, not only in our large breed canine patients but also in small breeds and cats as well as juvenile patients. A recent cost-effectiveness article noted that the total lifetime cost of medical management exceeded that of total hip replacement as long as THR was performed before 4 years of age.³ While THR may involve a more complex surgical procedure and higher initial cost compared to FHO, its potential benefits in terms of long-term joint function, pain relief, and quality of life make it a preferred option for many veterinary patients.

Early referral for total hip replacement is encouraged due to the progression of osteoarthritis, periarticular muscle mass loss, and subluxation leading to dorsal acetabular rim wear, saucerization, and bony remodeling of the proximal femur that can create surgical challenges. THR can be performed close to skeletal maturity, and in severe cases with marked subluxation, may be performed as early as 6-10 months of age.⁷ With the development of press-fit, osteo-integrated components, implants are designed to last the lifetime of the pet.

References:

1. Borak D, Wunderlin N, Brückner M, Schwarz G, Klang A. Slipped capital femoral epiphysis in 17 Maine Coon cats. J Feline Med Surg. 2017 Jan;19(1):13-20. doi: 10.1177/1098612X15598551. Epub 2016 Jul 10.PMID: 26265738.

2. McNicholas WT Jr, Wilkens BE, Blevins WE, Snyder PW, McCabe GP, Applewhite AA, Laverty PH, Breur GJ. Spontaneous femoral capital physeal fractures in adult cats: 26 cases (1996-2001). J Am Vet Med Assoc. 2002 Dec 15;221(12):1731-6. doi: 10.2460/javma.2002.221.1731. PMID: 12494971.

3. Eginton KA, Gordon-Evans WJ. Lifetime cost of surgical treatment for canine hip osteoarthritis is less than conservative management in dogs under eight years of age. J Am Vet Med Assoc. 2024 May 3:1-5. doi: 10.2460/javma.24.01.0043. Epub ahead of print. PMID: 38701835.

4. Off W, Matis U. Excision arthroplasty of the hip joint in dogs and cats. Clinical, radiographic, and gait analysis findings from the Department of Surgery, Veterinary Faculty of the Ludwig-Maximilians-University of Munich, Germany. 1997. Vet Comp Orthop Traumatol. 2010;23(5):297-305. PMID: 20945541.

5. Budsberg SC, Chambers JN, Lue SL, Foutz TL, Reece L. Prospective evaluation of ground reaction forces in dogs undergoing unilateral total hip replacement. Am J Vet Res. 1996 Dec;57(12):1781-5. PMID: 8950435.

6. Movora education: https://movora.com/hip-replacement-faq-for-pet-parents/

7. Fitzpatrick N, Law AY, Bielecki M, Girling S. Cementless total hip replacement in 20 juveniles using BFX™ arthroplasty. Vet Surg. 2014;43(6):715-725. doi: 10.1111/j.1532-950X.2014.12214.x

ABOUT THE AUTHORS:

Karl C. Maritato, DVM, ACVS-SA

Dr. Karl C. Maritato, a board-certified veterinary surgeon at MedVet Cincinnati, is recognized for his groundbreaking work in surgical innovations. With top honors from the University of Florida and Ross University School of Veterinary Medicine, he has pioneered procedures like cement-less canine total hip replacement and minimally invasive arthroscopic techniques. Dr. Maritato's expertise extends to MedVet Dayton, where he established a comprehensive surgery department. He is also a prolific author and lecturer, advocating for continued education in the veterinary field.

Nina R. Kieves DVM, DACVS,

Dr. Nina Kieves holds the position of Associate Professor of Orthopedic Surgery at The Ohio State University College of Veterinary Medicine in Columbus, Ohio. With dual board certifications from the American College of Veterinary Surgeons and the American College of Veterinary Sports Medicine & Rehabilitation, along with certification as a Canine Rehabilitation Therapist, Dr. Kieves brings a wealth of expertise to her field. Her educational journey includes veterinary school and a small animal internship at The University of Minnesota, followed by a surgical internship in private practice. She completed her surgical residency at Iowa State University and pursued further specialization with a fellowship in canine performance medicine and surgery at Colorado State University. Dr. Kieves focuses her clinical and research endeavors on sports medicine and rehabilitation, employing minimally invasive techniques such as arthroscopy. She is deeply committed to enhancing the well-being of working and companion dogs, striving to establish evidence-based guidelines for the treatment and prevention of common small animal injuries.

Arnold S. Lesser, VMD, DACVS

Dr. Arnold Lesser is a board-certified veterinary surgeon specializing in small-animal general, orthopedic, and neurosurgery. He began the Veterinary Surgical Referral Service over 30 years ago to help extend advanced veterinary treatment to the Long Island and greater New York metropolitan areas.

A graduate of Columbia University in New York and the University of Pennsylvania Veterinary Medical School, Dr. Lesser has been a diplomate of the American College of Veterinary Surgeons since 1982.

He received advanced training in veterinary orthopedic surgery, including total hip replacement. Dr. Lesser has published numerous articles in veterinary journals and has written chapters for various veterinary surgical textbooks. He lectures on orthopedics and reconstructive surgery at local, national and international meetings.

He is a past president of the Veterinary Orthopedic Society and was chosen as one of New York’s Top Veterinarians by New York Magazine in 2002.

Sarah K. Israel, DVM, DACVS-SA

Dr. Sarah K. Israel is a dedicated veterinary surgeon at BluePearl in San Antonio, Texas, specializing in joint replacement surgery, minimally invasive orthopedics, and arthroscopy. As a founding fellow in joint replacement surgery (JRS) with the American College of Veterinary Surgeons, she exemplifies her commitment to advancing surgical techniques. Dr. Israel Gaines earned her Doctor of Veterinary Medicine from Texas A&M University in College Station and completed her residency in Small Animal Surgery at the same institution after an internship in Small Animal Medicine & Surgery at The Ohio State University in Columbus. With a passion for excellence and continual learning, Dr. Israel Gaines provides compassionate and innovative care to her patients, contributing to the field of veterinary surgery in San Antonio, TX, and beyond.

Turn static files into dynamic content formats.

Create a flipbook