BANCOMER
CREATOR COMUNICACIÓN, S DE RL. DE CV. PERIODICO SEMANARIO
CUENTA PARA DEPOSITOS
01 58 98 90 44
INTERBANCARIA (TRANSFERENCIAS)
01 23 20 00 15 89 89 04 40











![]()
BANCOMER
CREATOR COMUNICACIÓN, S DE RL. DE CV. PERIODICO SEMANARIO
CUENTA PARA DEPOSITOS
01 58 98 90 44
INTERBANCARIA (TRANSFERENCIAS)
01 23 20 00 15 89 89 04 40











P BRO . A RMANDO G ONZÁLEZ E SCOTO
En este día tenía lugar la célebre romería de San Pedro. Desde la madrugada centenares de personas y familias peregrinaban de Guadalajara hasta la cercana villa, en un muestrario de ropajes, colores, música y clases sociales de los más variado y original. Era común transportarse en burros, caballos, carretas, calandrias, o a pie, y para los curiosos, estar atentos al momento en que un burro se resbalaba en el lodo y daba por el suelo con su folklórica carga, una romería casi siempre pasada por agua, pero que se fue extinguiendo a mediados del siglo pasado.
Aún las tradiciones más antiguas y rmes, no son tan fuertes y permanentes como nos lo imaginamos, diversas circunstancias externas, descuido de la sociedad, ignorancia acerca de su valor, ideologías agresivas, inmigraciones masivas y, sobre todo, cambio de pensamiento, pueden extinguirlas, como pasó también con los “incendios” de Dolores.
La misma devoción a San Pedro, o por lo menos a su “sombra”, ha ido debilitándose, pese a ser un símbolo de la mayor importancia para la Iglesia y para la conservación de su unidad. En el arte primitivo cristiano, el “ciclo de Pedro”, es decir: confesión de fe – negación – conversión – testimonio de la sangre, fue representado en todo tipo de formas, en relieves y pinturas, en paredes y sarcófagos, porque la vida de Pedro era emblemática para la comunidad, y pronto lo sería aún más en lo referente a la unidad católica en torno al Papa; cierto, durante todos esos primeros siglos nadie pensaba en San Judas Tadeo, tampoco en los presentes, a no ser como una devoción supersticiosa que nada tiene que ver con la vida y el ejemplo de este apóstol. Pedro, además de ser la roca sobre la cual Jesús fundó a su Iglesia, era también el mayor ejemplo de la debilidad y de la fortaleza humana, de los ideales y de los intereses, de la fe y de la duda, de la generosidad y del cálculo, del arrojo y de la cautela, de la delidad y de la traición, de la amistad y de la celotipia, pero alnal, el mejor ejemplo del amor a Cristo, ni más ni menos a lo plenamente humano, y la más alta evidencia de la con anza de Dios en el ser humano siempre tan inconstante y a la vez, perseverante.
En los años en que los estandartes del imperio romano comenzaban a declinar, muy cerca de la colina del Vaticano, Pedro fue levantado en una cruz, y muy consciente de no merecer morir como el Señor, pidió ser cruci cado cabeza abajo. Al n Pedro. Su memoria pervive hasta el presente en la memoria cristiana, y a la vista de todos pasa por ser la única persona humana a quien se le ha levantado el mausoleo más grande del mundo, tal fue su misión en la tierra, su función en la Iglesia, su estilo de vida y su ejemplo libre de cualquier idealismo edulcorado.
armando.gon@univa.mx

Toque de agonías
Desde la Presidencia de la República, gobernantes y funcionarios aseguran que se respeta y garantiza la libertad de expresión en México, pero en los hechos sucede lo contrario. Los casos de censura para periodistas y ciudadanía se incrementan: en Campeche, el Tribunal Electoral prohíbe a un periodista a ejercer su profesión, en Puebla, aprueban la “ley de ciberseguridad” para penalizar las críticas y ofensas a través de redes sociales; en Sonora, el máximo tribunal electoral del país sanciona a una ciudadana por cuestionar el obrar de un político; y en Tequila, Jalisco, un periodista camarógrafo es detenido y esposado por la policía municipal por realizar su trabajo durante un operativo de seguridad.
Toque a campana tañida
Mientras se incrementa el con icto Irán-Israel-Estados Unidos, la crisis humanitaria en la franja palestina de Gaza aumenta por falta de alimentos, agua y servicios de salud, junto con ataques de Israel a esa región palestina provocando más muerte. Simultáneamente, en Ucrania, los ataques con misiles y drones de Rusia se intensican mientras todo el mundo dirige su atención al con icto Irán-Israel. El Papa León XIV reitera su llamado a la
ceja ramírez
• celina zepeda
• michelle fletes
• quetzali cárdenas
P BRO . J OSÉ M ARCOS C ASTELLÓN P ÉREZ
La Iglesia de Guadalajara ha celebrado en estos días su XII Asamblea Eclesial, convocada por el Arzobispo, el Cardenal José Francisco Robles Ortega, y en la que participan los delegados laicos y religiosos, los decanos, vicarios episcopales, obispos auxiliares y miembros representantes de organismos e instancias diocesanas. La Asamblea es la reunión sinodal que pretende dar continuidad y un nuevo impulso al proceso pastoral diocesano.
Si quisiéramos hacer una relectura retrospectiva, tendríamos que hablar de tres momentos claves en este proceso. Las primeras tres asambleas plantearon el “qué” del proceso: el objetivo, las líneas de acción y una su ciente fundamentación teológico pastoral. De la
paz, advirtiendo que las armas cientí cas que ahora se utilizan podrían conducir a atrocidades peores que las del pasado. “La guerra es siempre una derrota”, citando al papa Francisco, y evoca al papa Pío XIII, quien ante la II Guerra Mundial, a rmó: “Nada se pierde con la paz. Todo puede perderse con la guerra”.
Repique de campanas
La Iglesia en México se une al llamado del Papa León XIV, pidiendo la paz para la humanidad entera. Las Diócesis en México se unen en oración por la paz en nuestro país y el mundo entero. Este domingo nos compartió el Papa León XIV, después de rezo del Ángelus, su preocupación: “La humanidad grita e invoca la paz. Es un grito que pide responsabilidad y razón, que la diplomacia haga callar las armas, que las naciones tracen su futuro con obras de paz” Con el ofrecimiento de nuestras Eucaristías, el rezo del Rosario y toda oración por la paz, servirá para que los corazones de quienes promueven la guerra se dejen iluminar por Dios y reconozcan que el diálogo es el único camino para vivir en paz.
Tan Tan Tan fraybadajo@gmail.com
cuarta a la octava asamblea se determinaron el “para quién”, con una acentuación precisa; el lenguaje del “para quién” o interlocutores prioritarios, fue el que el Papa Francisco utilizaba en ese momento, el de periferias existenciales, que en nuestro caso fueron las familias en crisis, los jóvenes en crisis y el tejido social roto, aunque por motivo de la pandemia de COVID se agregaron los ancianos y los sacerdotes en crisis. La acentuación de este momento estriba en la necesidad de renovar las estructuras y las instancias eclesiales para que estén en función del proceso. De la novena a la actual asamblea se ha planteado el “cómo”, es decir, el cauce operativo por el que queremos alcanzar nuestro objetivo, animados y orientados por las líneas comunes, con la urgencia de llegar evangélicamente a las periferias existenciales por medio de una Gran Misión de la Misericordia, con las características de irradiación y transversalidad, pensada para cuatro etapas: la sensibilización, la territorial, la sectorial y la ambiental. El marco teórico y metodológico que hasta ahora ha ofrecido la Asamblea, como institución eclesial, podría decirse, sin temor a equivocación, que es lógico, coherente, progresivo. Quienes sin ser miembros de esta Iglesia particular tienen conocimiento de este marco teológico-pastoral, incluso de pastoralista de talla internacional, han dado un juicio muy positivo e incluso laudatorio. Pero, en la práctica, hay algo que no ha funcionado. Comúnmente decimos que “no ha prendido”, no llega a las parroquias ni mueve a las instancias eclesiales. Incluso, hay quienes prestan servicios de suma importancia en la diócesis que denostan el proceso; o quizá sin ser plenamente conscientes, las inercias de ya muchos años, con sus vicios añejos, de la forma de gobierno y administración eclesial, de formación en el Seminario y de organización general de una pastoral fragmentada, entendida más como un conjunto de pastorales y no una “pastoral de conjunto”. Y no hay que pasar de lado que somos seres humanos y que una de las debilidades de los agentes de pastoral es el protagonismo y los celos pastorales (que no celo pastoral), provocando envidias y divisiones.
La Asamblea, convocada y con el aval del Arzobispo, es una oportunidad para que nuestra Iglesia particular, enriquecida con tantos dones y carismas, sazonada con la sangre martirial, responda a las exigencias del tiempo para que impulse, aquí y ahora, la Nueva Evangelización.
diseño: Pbro. Víctor M. Meza García Antonio J. Báez Velasco Miriam Jaqueline de
Teléfono: 3002-6470. Suscripciones: Ext. 1954 | Publicidad: Ext. 1906+1925 | Redacción: Ext. 1922 Horario de oficina: 8:30 a.m. a 5:30 p.m., correo electrónico: semanario@cccomunicaciones.com.mx Página Internet: http://www.semanario.com.mx Distribución: Mensajería Tercer Milenio. Impreso por: Creator Comunicacion S. de R.L. de C.V. con oficinas en Isla Flores N. 3344, Col. San José, Tlaquepaque, Jalisco. Tel. 3002-6470. ventas.creator@cccomunicaciones.com.mx
Semanario Arquidiocesano de Guadalajara Órgano de Formación e Información Católica Semanario Arquidiocesano de Guadalajara, fundado por el Sr. Cardenal Dn. Juan Sandoval Íñiguez, el 24 de enero de 1997 • Registrado ante la Comisión Calificadora de Publicaciones y Revistas Ilustradas —CCPRI— en Certificados de Licitud de Título y Contenido números 10296 y 7226 expediente 1/432“97”/13565 el 20 de enero de 1998 y en el Instituto Nacional de Derecho de Autor, bajo reserva al uso exclusivo del título 04-2018-021211450400-101 el 12 de febrero de 2018 • Registro Postal Publicación Periódica PP14-0002-2000, autorización por SEPOMEX No se devuelven originales. Los escritos firmados son responsabilidad del autor, no de la publicación ni del titular Es una publicación editada por Creator Comunicación, S. de R.L. de C.V., con oficinas y redacción en Isla Flores N. 3344-2, Col. Jardines de San José, Guadalajara, Jal., México, C.P. 44950 A.P. 3-31. Los anuncios que se muestran en Semanario son responsabilidad, única y exclusivamente, del solicitante. No nos hacemos responsables de los servicios que se publicitan.
Para muchos matrimonios, hoy en día, tener hijos no está considerado dentro de sus proyectos de vida. Es una generación que concientiza mucho sobre lo que implica ser madre o padre en México, país inseguro y violento y que por más que digan los gobernantes en turno, cada día está peor en muchas cosas, como a rma un buen número de personas entre 20 y 35 años de edad, justamente los que están en una mejor edad reproductiva. Hay quienes puntualizan, en unos años más la situación va a empeorar y el futuro será incierto para las próximas generaciones. Las cifras más recientes del Instituto Nacional de Estadística y Geografía (INEGI), corroboran que hay menos nacimientos, que los jóvenes cada vez optan menos por tener descendencia, que ya no les interesa procrear como a sus progenitores: la Estadística de Nacimientos Registrados, re ere que en 2023 los nacimientos en México se redujeron 3.7 % respecto a 2022, lo que representó 70 mil 500 menos. La disminución en una década es considerable: en 2023 se registraron 1 millón 820 mil 888 nacimientos, lo que representa un decremento de 642 mil 532 en relación con 2014, cuando se contabilizaron 2 millones 463 mil 420. Muchos jóvenes se preguntan: si tuviera descendencia, ¿qué planeta les dejaré? si apenas me alcanza para mí, ¿cómo voy a mantener a alguien más? y, ¿qué le voy a brindar si no tengo una vivienda propia? me cuesta saber manejar mis emociones, ¿podré educarlos emocionalmente?, otros re eren que tener descendientes complicaría continuar sus objetivos profesionales; adquirir cosas que desean, como viviendas o automóviles; y ser padre o
madre implicaría mucho tiempo que pre eren invertir en viajar, seguir estudiando, tener una vida social más activa o cuidar mascotas.
Hay quienes consideran que les gustaría ser padres. Reunimos todas las condiciones necesarias para poder traer al mundo hijos y darles todo lo que necesitan para que se conviertan en adultos sanos y felices. A rman que, por encima de todo, consideran que su obligación moral es tener hijos, ser los mejores padres posibles para ellos y darles la oportunidad de disfrutar de este regalo tan maravilloso que es la vida, igual que sus padres se las dieron a ellos. Creemos que tener hijos va a hacernos más felices que no tenerlos. Una felicidad de corto plazo, relacionada con experimentar sensaciones, emociones y estados de ánimo placenteros en tu día a día. Lo que podríamos llamar bienestar. Una felicidad de largo plazo, relacionada con despertarse cada mañana con un motivo claro para vivir, con sentir que lo que estamos haciendo tiene sentido y con mirar hacia atrás y sentirte orgulloso de todo lo que has conseguido. Lo que podríamos llamar satisfacción vital o autorrealización. No obstante, las dicultades, para muchos padres de familia de nuestra patria, tener hijos verlos crecer, prosperar y crear su propia familia, y pensar que han contribuido a todo eso, les ha sido algo muy satisfactorio. Mirar atrás hace que sientan que su paso por el mundo ha merecido la pena. Re exionar sobre tener hijos o no tenerlos es vital y debe ser una decisión conyugal, partiendo desde sus principios humanos y valores religiosos, cristianos, católicos...


Hermanas y hermanos en el Señor:
San Pablo escribió: “Cada vez que comen de este pan y beben de este cáliz, proclaman la muerte del Señor hasta que Él vuelva” (1Co 11,26). Con estas palabras nos damos cuenta de que el misterio de la Eucaristía se remonta hasta el mismo Señor Jesús quien, la víspera de su Pasión, reunido con sus Apóstoles, tomó pan, lo partió y se los dio. Sería entregado su Cuerpo por todos, y su Sangre derramada por todos (cf. Mt 26,26-30).
Inmediatamente les dio un mandato: “Hagan esto en memoria mía”. Este misterio del Cuerpo entregado y de la Sangre derramada es el misterio que la Iglesia celebra desde entonces hasta hoy, y que nos garantiza la presencia real y verdadera de Jesucristo en medio nuestra pobre humanidad.
Cristo, presente en la Eucaristía, no está presente de cualquier manera. Su presencia grandiosa, hermosa, y para agradecerla siempre, es una presencia salvadora.
Entregó su Cuerpo al sacri cio, derramó su Sangre por nuestra salvación, de manera que su presencia en la Eucaristía es una presencia que nos salva, nos sana, nos renueva, nos reanima, nos sostiene, y que solo Dios puede ofrecernos y garantizarnos. Su presencia real es porque Dios quiere salvarnos.





De manera que cuando nos acercamos a este Sacramento nos acercamos necesitados de la salvación, de la fuerza para seguir caminando en esta vida sin perder el rumbo y sin perder la meta.
Cada vez que nos acercamos a la Eucaristía nos acercamos con la certeza de que nuestra pobre humanidad es abrazada, es sostenida, amada por el mismo Dios, presente y activo en el Sacramento del Cuerpo y de la Sangre. No lo debemos olvidar, ni pasar por alto. Muchas veces, cuando asistimos a la Misa, posiblemente estamos presentes físicamente, pero ausentes con la mente, envueltos en nuestras preocupaciones y problemas, y no nos acabamos de enterar que en la Eucaristía Cristo nos está salvando.
Aunque asistamos a la Misa distraídos, Jesucristo, aun en esas circunstancias, entrega su Cuerpo y derrama su Sangre por nuestra salvación.
Está presente en la Eucaristía para ser nuestro compañero en la vida, porque vamos caminando hacia un destino glorioso, el encuentro de nitivo y eterno con Dios. Ésta es la esperanza que no nos defrauda, pero mientas llega ese momento nal, Él camina con nosotros, está presente con su Cuerpo y su Sangre para ser alimento, consuelo, aliento y salud. Cuando permanece en el Sagrario, a veces abandonado por nosotros, Él sigue ahí, sigue velando permanentemente por nuestro bien y por nuestra salvación, aunque no nos enteremos.
Él vela y está presente por nuestra salvación, aunque no seamos conscientes, agradecidos y atentos con su presencia, porque su presencia es amorosa y está activa por nosotros.
Al adorar a Jesús Eucaristía, cada vez que lo hagamos, reavivemos en nosotros la fe, la certeza de que Jesucristo está vivo y presente con su Cuerpo y su Sangre. Ojalá que en cada uno de nosotros se produzca una mayor conciencia de fe acerca del tesoro que tenemos en la Eucaristía, y que, reanimada nuestra fe, nos convirtamos en testigos, en apóstoles de la Eucaristía, de esta presencia amorosa y salvadora de Jesucristo.
Yo les bendigo en el Nombre del Padre, y del Hijo y del Espíritu Santo.
En un mundo marcado por profundos cambios culturales, sociales y económicos, cada vez es más común encontrar matrimonios que, por distintas razones, no tienen hijos. Esta realidad presente en las comunidades católicas plantea interrogantes pastorales, espirituales y morales.
Ante esto, la Iglesia no se queda indiferente. Con su corazón de Madre acoge, acompaña y orienta a estos esposos, recordándoles que su vocación matrimonial sigue siendo querida por Dios y que la plenitud en su relación la alcanzarán con los hijos.
En este contexto, presentamos la historia de Érika de la Paz García Macías, artista plástica de 49 años de edad y Juan Manuel Aguilar, capitán retirado de 48. Sin duda que son un testimonio de amor, porque después de 25 años de matrimonio han construido una vida basada en la entrega, el respeto mutuo, pero con una decisión libremente asumida: vivir su relación sin hijos.
Erika y Juan Manuel se casaron tras un noviazgo breve de cuatro meses. Su vida en común inició con carencias materiales, como la mayoría de los matrimonios recién casados. Sin embargo, esto no impidió que construyeran una relación amorosa. “Dijimos: no nos conocemos, pero tenemos el resto de la vida para hacerlo”, relata Érika.
Una de las decisiones más significativas de su vida fue la de no tener hijos. No fue un acuerdo hablado desde el principio, sino algo que se dio naturalmente.
Para Juan Manuel, el amor y la compañía de su es-

posa -dice- han sido suficientes: “Nunca sentí la necesidad de ser padre. Me siento completo con ella”.
Ambos han enfrentado presiones sociales, especialmente Érika, “pero yo estaba segura de lo que quería”, explica. Juan Manuel, en cambio, vivió con menos presión. “Soy una persona seria, y cuando alguien me comenta siempre digo que cada quien decide lo que quiere tener en su vida y la verdad es que yo no quería tener ese compromiso”.
UN AMOR ENTRE ELLOS
“Para mí este tiempo ha significado sentirme querida, escuchada y valorara”, dice Érika. Juan Manuel lo resume como: “A mí me ha parecido poco tiempo, la verdad es que ha sido un placer”.
Una de las enseñanzas que destacan es el valor de ser honestos: “Manuel ha sido mi maestro en muchísimas cosas: en la perseverancia, en la honestidad… desde que lo conocí, aprendí que la honestidad vale muchísimo”.
Por su parte, Juan Manuel destaca: “Con ella a mi lado ha sido mi fuerza, ha sido mi apoyo, ha sido mi norte”. Dicen que durante su matrimonio han encontrado formas de ejercer un tipo de maternidad y paternidad distinta, optaron por un perrhijo, aunque también comenta Juan Manuel: “Vivimos una paternidad comunitaria, por así decirlo, con nuestros sobrinos”.
Para Érika, la maternidad también se manifiesta en su vocación profesional. Ambos creen que la figura de madre y padre puede extenderse más allá del vínculo biológico.
UN EJEMPLO
Desde su experiencia, piensan que la vocación matrimonial sin hijos puede ser fructífera, por ejemplo, cuando algún algún hijo de sus vecinos quiere ir al parque y su familia no puede llevarlo, ellos se ofrecen a hacerlo. Creen en el valor de “paternar por unas horas”. Por eso, señalan que siempre que pueden, acompañan.


NUESTRO COMPROMISO COMO CRISTIANOS AL RESPECTO
Aunque, por supuesto, es muy respetable la opinión y de la decisión de todas las parejas que se unen, y que dentro de su proyecto de vida está no tener hijos, y sin que se quiera hacer ningún intencional adoctrinamiento ni proselitismo que, por otra parte, no conseguiría nada, el pensamiento de la Iglesia sobre los matrimonios sin hijos no es el expresado por el testimonio anterior.
Presentaron sus motivaciones, sus decisiones y sus planes, así como la íntima relación que existe entre ambos, y
es muy respetable y, para algunos, resulta un paradigma, pero queda claro que, según el designio de Dios expresado en la Sagrada Escritura, desde la Creación, la finalidad de la unión entre un hombre y una mujer es la procreación amorosa y responsable. Tampoco se trata de traer al mundo criaturas sin amor y sin compromiso entre ellos (los cónyuges) y sin compromiso con los que engendren. En el Catecismo de la Iglesia Católica (CIC), en el número 1652, se nos dice con claridad que uno de los fines esenciales del matrimonio es la apertura a la vida:
“Por su naturaleza misma, la institución misma del matrimonio y el amor conyugal están ordenados a la procreación y a la educación de la prole y con ellas son coronados como su culminación”.
Y el documento del Concilio Vaticano, titulado “Gozos y Esperanzas” (Gaudium et Spes), «los hijos son el don más excelente del matrimonio y contribuyen mucho al bien de sus mismos padres. El mismo Dios que dijo: “No es bueno que el hombre esté solo” (Gn 2,18), y que hizo desde el principio al hombre, “varón

y mujer” (Mt 19,4), queriendo comunicarle cierta participación especial en su propia obra creadora, bendijo al varón y a la mujer diciendo: “Creced y multiplicaos” (Gn 1,28). De ahí que el cultivo verdadero del amor conyugal y todo el sistema de vida familiar que de él procede, sin dejar posponer los otros fines del matrimonio, tienden a que los esposos estén dispuestos con fortaleza de ánimo a cooperar con el amor del Creador y Salvador, que por medio de ellos aumenta y enriquece su propia familia cada día más» (50,1).
Un pensamiento diferente al planteado al inicio de este tema -y muy diferente-, lo tienen los matrimonios que sí tienen hijos. Para ellos, los hijos, cuando los tienen -y hay que tenerlos para experimentarlo, para sentirlo-, son plenitud.
Los esposos se sienten plenos en su relación -y qué bueno-, por supuesto, pero cuando llegan los hijos, se sienten mejor, y más cuando son fruto del amor, de la responsabilidad y del compromiso de haberlos tenido.
Esos matrimonios no se ven ni se imaginan sin hijos, sin descendencia, sin experimentar ese amor tan grande e infinito que se tiene por ellos.
Se puede sobrellevar la vida sin esposo, sin esposa, ordinariamente, aunque sufran, pero ante la muerte de un hijo, la vida del padre o de la madre que han estado responsablemente con ellos, es un dolor inmenso, incomparable, consecuencia del gran amor que les trae, a la vida de los esposos, un hijo.
Quienes los tienen, no se imaginan la vida sin alguno de ellos, sea uno o sean cuatro, o más; ninguno sobra, ninguno está de más, a todos los quieren.
Además, como dice el Ritual del Bautismo, se aumentan los hijos de Dios por adopción, y aumenta el número de los discípulos de Cristo y testigo de su amor en el mundo.
• El Instituto Nacional de Estadística y Geografía (INEGI) no publica cifras anuales precisas de matrimonios sin hijos. Sin embargo el Censo del año 2020 permite estimar que cerca del 38% de los hogares nucleares estaban conformados por parejas sin hijos.
• Por su parte, la Encuesta Nacional de la Dinámica Demográfica (ENADID) realizada en 2023, señala que:
• *El tipo de hogar más frecuente fue el de dos personas, representando el 22% del total. Esto significa que, de cada 100 hogares, 22 están conformados por solo dos personas, muchas veces parejas.
• *La tasa de fecundidad en hijos por mujer de 15 a 49 años cayó de 2.07 en 2018 a 1.60 en 2023.
• *Cerca del 30% de las mujeres adultas no tienen hijos.
J orge r ocha
El conflicto bélico de Israel contra Palestina escaló, ya que dos países más están involucrados directamente: Estados Unidos e Irán. Desde hace meses la condena internacional contra Israel ha estado presente. Las imágenes de la población de Palestina víctima de los ataques de las fuerzas militares israelitas son desgarradoras y ha implicado manifestaciones a nivel mundial, recordemos que hace unos meses en muchas universidades estadounidenses se dieron importantes movilizaciones para pedir el alto a la guerra. Incluso el Papa Francisco estuvo pidiendo de forma reiterada la paz en la Franja de Gaza.
La situación en estos días no sólo no mejoró, sino que se complicó porque Israel atacó a Irán, y como decíamos la semana pasada, la respuesta de este país fue mandar misiles a Tel Aviv. Este escalamiento en la guerra ya era muy preocupante en sí mismo, ya que representaba un incremento de la violencia y en las afectaciones a las víctimas, pero este asunto no se quedó allí, Donald Trump decidió pasar del apoyo al involucramiento concreto en la guerra al bombardear a Irán en lugares donde supuestamente se podían elaborar armas atómicas. El argumento que colocó el presidente de los Estados Unidos, fue detener una amenaza nuclear que Irán estaba desarrollando. Hay que decir que esta es una hipótesis no comprobada con hechos, pero es la que utiliza el gobierno de los Estados Unidos para justificar los ataques.

Como era previsible, Irán expresó que habría una respuesta en el mismo sentido y el lunes 23 de junio por la mañana, este país lanzó misiles a bases militares estadounidenses en Qatar. De acuerdo al gobierno estadounidense, no hubo afectaciones importantes, pero el hecho nos indica que, a menos de que haya un proceso de sensatez política, estaremos presenciando este tipo de ataques entre los países involucrados. En redes sociales y en algunos medios de comunicación se habla de que estamos al borde de una tercera guerra mundial, esta es una hipótesis arriesgada en este momento, pero si podemos anticipar algunos efectos que posiblemente traerá este conflicto. El primero es que se
avizora una crisis energética por la amenaza de Irán de bloquear el estrecho de Ormuz, por donde transita una quinta parte de todo el petróleo que se comercia en el mundo. Estos avisos pusieron a temblar a los mercados, y aunque Trump exhortó a mantener los precios de este energético como están, la situación de incertidumbre está presente.
Otro de los posibles efectos es el incremento de las víctimas de esta guerra por los ataques que se generen entre los países involucrados. En los últimos días se desataron varios bombardeos y es previsible que esta situación persista hasta que no se decrete un alto al fuego.
Este fin de semana también hubo manifestaciones multitudinarias en los

Estados Unidos, donde le recriminan a Donald Trump su involucramiento en la guerra, la narrativa utilizada por el republicano no ha logrado convencer a muchos de sus connacionales que claramente se oponen a estas medidas. El presidente de Estados Unidos no sólo enfrenta una fuerte condena internacional, también está siendo objeto de una grave crisis política interna.
Ahora bien, en todo este escenario internacional, a la postura del Gobierno de México le ha faltado firmeza. Ya con la guerra comercial desatada por Donald Trump a través del incremento de aranceles, la respuesta de México fue poco contundente y trató de actuar con la mayor prudencia posible. Con la persecución desatada por el republicano en contra de los migrantes no hubo un posicionamiento firme y más bien la presidenta se dedicó a negar que ella hubiera incitado a la violencia y ahora con esta guerra infame, tampoco el gobierno de México se ha sumado a la condena internacional con la contundencia necesaria.
Parece que este proceso de dependencia económica de México hacia los Estados Unidos, que se ha fraguado en las últimas décadas, empieza a cobrar factura, ya que la actuación económica y política de nuestro gobierno ha sido por demás tibia, ya que busca cuidar que las relaciones con aquel país no se compliquen. Esta forma de actuar, aunque puede ser vista como prudente, nos coloca cada vez más y más del lado de Donald Trump.
Habrá que seguir atentos a los llamados de paz, como los que ya hizo el Papa León XIV.
Académico del ITESO Correo electrónico: jerqmex@hotmail.com
El Papa León XIV ya le puso fecha a la primera canonización que hará en su magisterio: la de Carlo Acutis, quien nació en 1991 y murió en 2006. La elevación a los altares de este joven italiano estaba originalmente programada para el día 27 de abril pasado, pero fue suspendida debido a que el Papa Francisco cayó enfermo y falleció el día 21 precisamente de ese mes.
El nuevo Sumo Pontífice no ha tardado en tomar en sus manos el asunto. Ya hizo el anuncio oficial de que el domingo 7 de septiembre canonizará a quien será el primer santo millenial.
Carlo Acutis Salzano nació en Inglaterra, donde su padre trabajaba, pero pronto se cambió la familia a Monza, Italia, donde el niño fue creciendo en la fe y actuando, a pesar de su corta edad, a favor de los más necesitados. Hizo la Primera Comunión muy pequeño y siguió recibiendo la Eucaristía prácticamente todos los días de su corta vida.
Se aficionó a la informática y dedicó sus días a formar una admirable colección de milagros eucarísticos y apariciones marianas que colocó en un sitio web. Por eso se le conoce como “el ciberapóstol de la Eucaristía”.
Falleció a los 15 años a causa de leucemia; asistieron a su funeral personas sin hogar, inmigrantes, mendigos y niños a los que su familia ni siquiera conocía. Sus padres y hermanos asistirán a la ceremonia de canonización en la Basílica de San Pedro. ¡Qué lujo!, podríamos decir con todo respeto.
Junto a Carlo Acutis, será canonizado otro joven italiano, aunque éste vivió a principios del siglo pasado. Se trata de Pier Giorgio Frassati, quien, a pesar de pertenecer a una familia acomodada, dedicó su vida y los recursos económicos que le llegaban a obras de caridad,

incluso siendo adolescente atendió a combatientes que regresaban de la Primera Guerra Mundial. Murió de poliomielitis. A su funeral asistieron muchísimos pobres desconocidos para sus padres, ya que fue hasta su muerte cuando conocieron todo el bien que había hecho.
Piergiorgio nació en Turín en 1901 en el seno de una rica familia burguesa: su padre Alfredo, senador liberal, periodista, propietario del periódico “La Stampa”, amigo íntimo de Giolitti, del que fue enviado a Berlín como embajador de Italia; su madre era una pintora muy reconocida: El rey de Italia, Víctor Manuel III compró uno de sus cuadros expuestos en la Bienal de Venecia. El clima que se respiraba en la casa de Frassati no era en algún modo una “atmósfera de fe”, pero el
Señor supo cómo abrirse camino en los corazones de las personas dispuestas a escucharlo.
Acutis y Frassati nos recuerdan al santo mexicano, michoacano, José Sánchez del Río, martirizado durante la Guerra Cristera cuando sólo tenía 14 años y que fue canonizado en 2016 por el Papa Francisco.
Ojalá que las vidas cortas, pero ejemplares, de Carlo Acutis y Giorgio Frassati no queden sólo en una ceremonia, sino que despierten en la juventud actual, tan expuesta a los peligros contra la fe, a una conversión genuina.
El autor es LAE, diplomado en Filosofía y periodista. Académico de la Universidad Autónoma de Guadalajara


En la entrega pasada vimos que las visitas pastorales eran una obligación de los Obispos. En aquellos territorios inmensos, sobre todo si se tenía la perspectiva europea, de las Españas específicamente, la Nueva España era inagotable, inabarcable, extensísima, pero era necesario cumplir con ese mandato porque eran varios los asuntos que se trataban, se observaban, se resolvían y se reportaban.
En Yucatán, por ejemplo, fray Antonio Alcalde se dio cuenta y expuso, con gran valentía, la conducta licenciosa de españoles que habían tomado posesión de algunas comunidades en las inmediaciones de Tabasco, pequeñas pero suficientes para que ejercieran actos violentos y de abuso de poder contra sus habitantes, particularmente contra las mujeres.
En el caso de la Diócesis de Guadalajara no se tiene noticia de algo así, por fortuna, aunque sí tuvo que enfrentar peligros; no obstante, como ya lo he mencionado en anteriores entregas, el sirvo de Dios constató directamente –y eso que no recorrió todo el territorio co-
rrespondiente en aquellos años– que era necesario dividirla. Esa experiencia también fue el principal argumento que presentó ante el rey Carlos III para que no se modificara el sistema para el cobro y administración del diezmo, sin éxito ciertamente, pero con conocimiento de causa.
En general, hay consenso en el sentido que el inicio de la visita pastoral del obispo fue en 1775. Se dispone del informe correspondiente elaborado y firmado por el notario mayor, Blas de Silva, quien precisa que fue el 10 de octubre de 1775, según refiere la historiadora Águeda Jiménez Pelayo.
Cuando se tramitaba su nombramiento para Guadalajara, prácticamente se impuso como condición que lejos de obstaculizar, impulsara la división de la diócesis, pues a partir de la visita es que Alcalde decidió imprimir un mayor énfasis a la iniciativa de fundar el Obispado de Nuevo Santander y hasta el de Sonora en 1779, según se indica en las memorias de Alberto Santoscoy. El historiador del siglo XIX coincide en la fecha: “[...] salió de Guadalajara el 10 de octubre de 1775, y debió invertir en ese trabajo episcopal lo restante del año y
parte del siguiente”.
Después del recorrido, Alcalde y Barriga se concentró en Guadalajara, desde donde su caridad se extendió hacia casi todo el territorio. El hecho de permanecer en la capital no impidió que el obispo derramara el bien en las otras provincias, aunque —y es justo decirlo— en Guadalajara, ciertamente, se recibió la mayor parte.
Sin duda fue así porque Alcalde ya era muy mayor. En el sermón de Juan Joseph Moreno que ya he citado en anteriores columnas, esto queda claro: “Contra los dictámenes de los médicos salió dos veces por distintos rumbos de esta Diócesis, pronto y alegre a hacer el sacrificio, tanto de su salud quebrantada como de su preciosa vida. En una y otra pasó ríos, sufrió hambres, desvelos, enfermedades y, por último, en esta toleró persecuciones de falsos hermanos”.
Águeda Jiménez es más específica tanto en las fechas como en los detalles de la visita pastoral, con base en el documento que halló en el Archivo General de Indias: el informe del notario mayor. Por ejemplo, y además de remitirse a la creación de la diócesis y al sustento reglamentario de las visitas pastorales, la
historiadora precisa que inició, sí, el 10 de octubre de 1775, se suspendió el 16 de diciembre siguiente, la reanudó el 10 de enero de 1776 y concluyó prácticamente cuatro meses más tarde, el 21 de mayo. El informe de Blas de Silva tiene fecha de 11 de julio de 1776.
El Libro de Gobierno de Totatiche se ha constituido en una fuente documental de gran valor. Es parte del conjunto documental para la Causa de Canonización del siervo de Dios, fray Antonio Alcalde y contiene papeles que dan cuenta de anuncios, avisos, impresos y otras comunicaciones. Por ejemplo, se conserva el anuncio de la visita pastoral, justo el tipo de documento que era de uso rutinario en la época; uno igual se emitió con respecto a las visitas pastorales de Yucatán.
Por la fecha del “despacho”, es claro que este aviso anunciaba la segunda parte de la visita, la que empezó el 10 de enero de 1776. En las primeras indicaciones, como podemos inferir que era su costumbre, el fraile de la calavera ordenaba de manera expresa que no se distrajeran recursos en un recibimiento fastuoso, no quería colgaduras, ni adornos de ningún tipo.

V íctor U lín
Hay una impresión generalizada de que no nos gusta reconocer que también en Jalisco somos indígenas. Que hay habitantes de piel blanca y morena, que no todos hablamos el español.
De hecho, cuando los foráneos aluden a Jalis co siempre en su imagen pintan mujeres y hombres blancos, altos, de ojos azules, traje de charro y botas de cuero.
Refieren a los altos de Jalisco como el mayor orgullo de su pobla ción representativa, pero es solo una visión parcial de lo que realmente somos.
ta María del Oro, los Coras. Hay una población indígena significativa que mantiene sus tradiciones y su resistencia al olvido y la defensa de sus derechos humanos más elementales.

En la Sierra Madre Occidental de Jalisco, los Huicholes habitan en los municipios de Mezquitic, Bolaños y Huejuquilla; en el Sur y su Costa, en Tuxpan, Cuautitlán de García Barragán, Zapotitlán de Vadillo y Villa Purificación, los Nahuas, y en la Zona montañosa del norte, en San-
En Jalisco hay mujeres y hombres de piel morena que son y se sienten parte de la misma tierra que habitamos y que muchas veces les negamos.
Ni la luna ni el sol salen para unos cuántos. Mucho menos
Dios hace distinciones racistas o abraza solo a los blancos o a los morenos.
La realidad y la verdad es que seguimos negando lo que somos. Las raíces. Ni Jalisco ni América son por la llegada de los españoles. Ya éramos una civilización avanzada en el siglo XV de la invasión, que no conquista. Y, en todo caso, surgió una cultura híbrida (lo mexicano) que no renunció ni renunciará a su pasado prehispánico, a sus comunidades originarias que persisten. No nos sorprende que hace unos
días, en el marco del Día Estatal de la Mujer y la Niña Indígena de Jalisco que se conmemora cada 22 de junio en homenaje a Liliana Carrillo, wixarika de 20 años de edad víctima de feminicidio, el tema de la discriminación volvió a dominar la narrativa en evento cebrado en la Universidad de Guadalajara.
La exigencia de Juana Facundo Rodríguez, representante del grupo Otomí -reseña en su nota el Occidental- es la de todas las mujeres de los pueblos originarios de aquí y del resto del país donde igual existen: “Queremos justicia, para nosotros es muy difícil acceder a la salud, a la educación, a la economía o a apoyos sociales que a veces el gobierno da”.
En la Constitución y leyes secundarias se escriben sus derechos, pero en los hechos se los escamoteamos y los excluimos. Los discriminamos. Es lo que es.
Marissa Velázquez Ramírez, representante de la Comunidad Mazahua en Zapopan, tomó el micrófono para denunciar que los casos de feminicidios y violencia en razón de género de mujeres indígenas no están documentados por las autoridades. No suceden. A nadie parece importarles lo que sufren o
padecen, mucho más si están lejos de la capital de Jalisco.
La síntesis de su lucha que toma aliento en esta fecha conmemorativa, es la que ya conocemos y los gobiernos hacen como que atienden: combatir la discriminación que se extiende a sus hijos en los espacios públicos, en cualquier parte de esta ciudad que no termina por aceptarlos ni muchos menos valorarlos.
Mimetizados en el asfalto de la zona urbana de la zona metropolitana de Guadalajara o desde sus hogares en la sierra, parece una población escasa. Pero no lo son. Son muchos rostros y corazones como el de usted o el mío. El latido es el mismo.
De acuerdo con Uriel Nuño Gutiérrez, coordinador de Extensión y Acción Social de la Universidad de Guadalajara, en Jalisco habitan aproximadamente 557 mil 864 personas de origen indígena, de las cuales 281 mil 658 son mujeres. Son muchas. No deberían estar solas en su lucha histórica de reivindicación de sus derechos y reconocimiento de lo que son. De lo que somos. La deuda es histórica.
Tendremos que mirarnos más seguido a nuestros espejos y en el de los otros para darnos cuenta que no hay diferencias ni entre las mujeres ni los hombres de Jalisco. Que somos iguales. Que somos hermanos. De raza y sangre. Que discriminarlos, es también negar lo que somos.



P bro . L eo P o L do G ómez V e L ázquez P re L atura de e L N ayar
Alas 8:30 de la mañana del pasado miércoles 18 de junio, el Padre Andrés Sáinz Márquez, originario de Arandas, Jalisco llegó a la Catedral de Jesús María, en El Nayar, donde fue recibido con danzas, caballerangos y representantes de todas las Parroquias de la Prelatura, con estandartes de sus Santos patronos, saludándolos muy afectuosamente. Se mostraba contento en el día de su Consagración como Obispo de la Prelatura de Jesús María.
En las puertas de la Catedral fue recibido por los Frailes Franciscanos encargados de la Liturgia, con una imagen de la Virgen de San Juan de los Lagos, la tomó en sus manos el Padre Andrés y entró. Ahí la colocaron en una mesa.
La ceremonia fue presidida por el Nuncio Apostólico en México, Joseph Spiteri, acompañado por el Cardenal José Francisco Robles Ortega, y varios Obispos. Estuvieron presentes todos los Sacerdotes diocesanos, y los Padres fran-
oficial de la Iglesia Católica, firmado por el Papa León XIV, donde lo nombra como Obispo de la Prelatura del Gran Nayar. Al final, el Obispo Andrés Sainz Márquez, emocionado, agradeció a todos su presencia, y refirió que ya conocía algunas parroquias, pues varias veces acudió como misionero a la Prelatura y a dar cursos y talleres. Pidió a toda la feligresía y a los sacerdotes, que lo “ayudaran a ser Obispo”. FUE NOMBRADO COMO


ciscanos de la Prelatura.
En la celebración, participaron más de mil laicos y la homilía fue pronunciada por el Obispo de Chilapa-Chilpancingo, anterior Obispo de El Nayar, José de Jesús González Hernández, la cual fue motivadora y alentadora hacia el Obispo Andrés y a todos los presentes.
Antes de la Consagración Episcopal, el Padre Andrés mostró las Letras Apostólicas a todos los presentes, ese documento


Q uetzali C árdenas
En medio del conflicto armado entre Israel e Irán, en donde hace unos días Estados Unidos atacó instalaciones nucleares iraníes, el Cardenal José Francisco Robles expresó su preocupación por la escalada de violencia global e invitó a los fieles y creyentes a recurrir a la oración por la paz y a ser constructores de esta en sus círculos personales y familiares.
“La paz global o la paz internacional que nosotros deseamos se fragua, se forma en el corazón de los hombres. Pidamos que el Señor inspire a los responsables de estos países sentimientos de responsabilidad y de paz por el bien de sus pueblos y por el bien de la humanidad” enfatizó el Purpurado.
Asimismo, destacó la importancia de la colaboración interreligiosa para promover la paz y la fraternidad.
“La religiosidad no debe de ser ocasión de división, de guerra, de enfrentamiento, sino al contrario, de fraternidad y de construcción de la paz. Eso se viene trabajando y en estos momentos como el que estamos viviendo, pues se intensifica más ese anhelo”, afirmó el Cardenal.
SACERDOTE MEXICANO NUEVO COORDINADOR DE VIAJES DEL PAPA
Sobre el nombramiento que hizo, el pasado 21 de junio, el Papa León XIV al nombrar a Monseñor José Nahúm Jairo Salas Castañeda, como Coordinador de los Viajes Apostólicos, el Arzobispo de Guadalajara destacó que este hecho
no implica un privilegio para México y espera que el Sacerdote tenga éxito en su servicio y que el Santo Padre pueda llevar su mensaje de paz de manera efectiva.
“Deseamos que él tenga mucho éxito en este servicio que la Iglesia le pide en favor del pontificado del Papa León para que, a donde quiera que vaya, todo resulte un éxito como mensajero de paz, como pastor universal y que esta responsabilidad que tiene nuestro hermano, nuestro paisano, la cumpla con éxito y a cabalidad”, comentó.
Con respecto a la restauración de Catedral, se anunció que ya comenzó la se-
gunda etapa de limpieza y se destacó la necesidad de que las autoridades municipales y estatales tomen medidas para prevenir futuros actos vandálicos contra la Catedral.
“Las autoridades deben de tomar las medidas que corresponde a ellos, prevenir, evitar que se den estas muestras de terceros, o sea, sin obstruir la libertad de manifestarse, sin interrumpir eso, que prevalezca ese derecho, pero sí también hacer lo posible para que se respeten edificios, otras personas, otras instituciones que no tienen que ver directamente con las causas que se manifiestan en la marcha. Yo espero que las autoridades hayan tomado nota y nosotros también en la medida de lo posible proteger nuestros espacios”, agregó.


Bajo el lema: “La Eucaristía, fuente de esperanza de los peregrinos”, en sintonía con el Jubileo de la Esperanza, la Solemne Celebración y Procesión Diocesana del Corpus Christi se llevó a cabo el pasado sábado 21 de junio en donde las manifestaciones de fe se hicieron presentes.
Fueron más de cuatro mil personas que se dieron cita en la Explanada del Templo Expiatorio Eucarístico para presenciar la Celebración Eucarística, que fue presidida por el Cardenal José Francisco Robles Ortega, Arzobispo de Guadalajara, y concelebrada por los Obispos Auxiliares.
Durante la homilía el purpurado hizo un llamado a todos los feligreses presentes a reavivar la fe en la presencia real de Jesucristo en la Eucaristía y


recordó que, al acercarse al Sacramento del Cuerpo y la Sangre de Cristo, los fieles no solo participan en un rito, sino que reciben una presencia viva, activa y profundamente amorosa.
“El Señor está presente para salvarnos, para sanar, para animar, para acompañarnos en el camino de la vida”, expresó el Cardenal, al subrayar que, en cada Celebración Eucarística, Cristo se entrega totalmente, aunque muchas veces los asistentes estén distraídos o ausentes de co-
razón. “Su presencia es silenciosa pero eficaz; trabaja por nuestra salvación incluso si no somos conscientes de ello”. Al finalizar la reflexión, enfatizó que desde la Eucaristía brota la vida de la Iglesia, como las vocaciones, carismas, servicio laical y Consagración. “Él es la fuente de todo bien”, afirmó, al señalar que Cristo, como pan partido, se multiplica para alcanzar a todos sin distinción, siendo alimento para el alma y fuerza para continuar el camino. El Car-

denal invitó a cada uno de los presentes a vivir con mayor fe, gratitud y compromiso este misterio central de la vida cristiana, para ser testigos del amor de Dios en las familias y en toda la comunidad. Posteriormente, al terminar con la comunión, se dio inicio a la procesión por las calles que cada año recorre el Santísimo para llegar a la Catedral Metropolitana de Guadalajara: las Av. Enrique Díaz de León, para luego tomar Hidalgo, hasta el Paseo Alcalde, frente a la Catedral.






LA FE VIVA
Durante el recorrido fueron incorporándose más eles a la procesión que ya esperaban a Cristo Eucaristía con porras y cantos de alabanza, recabando a más de 25 mil presentes. La presencia de los jóvenes fue un testimonio de fe, entrega y esperanza, como fue el caso de Orlando Rodríguez y Alejandro Guzmán, ambos de la parroquia Santo Tomás Moro, compartieron su experiencia de participar en este encuentro Eucarístico.
Para Orlando Giovanni, quien sirvió por primera vez, la experiencia estuvo llena de emoción. “El hecho de que en esta ocasión me toque servir, me causa mucha más alegría y gozo”, expresó. Él forma parte del grupo juvenil “Carlo Acutis”, un

movimiento parroquial que busca seguir el ejemplo del joven beato italiano, conocido por su amor profundo a la Eucaristía.
Por su parte, Alejandro Guzmán, de 28 años, coordinador del movimiento parroquial, mencionó que ha servido ya tres años consecutivos en el Corpus. Destacó el privilegio que signi ca, en su juventud, poder acercarse más a Cristo.
“Es una alegría aprovechar estas oportunidades y conocer a un Cristo vivo. Es algo padre, bonito, pertenecer a un grupo juvenil y ser guía, claro, con la ayuda de Dios y de la Virgen María”.
Más testimonios de fe y devoción no se hicieron esperar, como el de una señora perteneciente a la Parroquia del Espíritu Santo, quien con profunda emoción

compartió su vivencia marcada por una herencia de fe transmitida por su madre.
“Desde que tenía 11 ó 12 años, mi mamá siempre me hablaba del Santísimo y yo no lo he dejado. Me gusta mucho venir. Me encanta. No sé, me gusta siempre me ha gustado desde chica”, expresó con voz entrecortada por la emoción.
Otros eles también dieron testimonio de lo que signi ca esta celebración en sus vidas como José Alfredo Castro Zamora, originario de Morelia, Michoacán, pero residente en Phoenix, Arizona, relató cómo al salir a caminar por el centro tapatío, se encontró con la celebración, lo que consideró una bendición, no una casualidad.
“Esto es algo que no se puede explicar,
solo quien tiene fe lo entiende”, expresó, además recordó con alegría las procesiones de su infancia en Morelia, donde el incienso y la solemnidad le “levantaban el ánimo”, asegurando que este tipo de encuentros no se pueden explicar con palabras y solo se entienden desde la fe. Al llegar a la explanada de la Catedral Metropolitana de Guadalajara, más eles ya esperaban a Cristo Eucaristía; el Sr. Cardenal Robles Ortega realizó la bendición con el Santísimo, dándole n a la Celebración. Sin duda, el Corpus Christi se vivió con profunda fe, alegría y gozo, fue una manifestación litúrgica de encuentro entre generaciones que dan testimonio de cómo la Eucaristía sigue siendo fuente de vida, consuelo y esperanza.









C arlos C ordero
La escalada del conflicto en Medio Oriente pone de manifiesto la necesidad de reflexionar sobre la fragilidad del orden internacional liberal. Lo que en días pasados se ha convertido en un polvorín es el resultado de décadas de agotamiento diplomático, pero sobre todo de ruptura de acuerdos y demostración de fuerza. Las aspiraciones expansionistas del Estado de Israel han terminado de romper la confianza en la diplomacia formal, privilegiando las estrategias personales de su líder Benjamín Netanyahu lo que ha colocado al mundo al borde de un nuevo conflicto internacional.
Este escenario catastrófico nos plantea dos posiciones. Por un lado, tenemos a Irán, un país gobernado por un gobierno teocrático que desde hace más de 40 años plantó cara a las naciones Occidentales y en ese fervor se ha ganado la imagen de peligro latente para occidente. Desde inicios del siglo XXI, cuando George Bush lo incluyó en su famoso “Eje del Mal” al lado de Iraq y de Corea del Norte, Irán se convirtió en una diana privilegiada para lanzar todo tipo de señalamientos sobre la amenaza que representa para la paz en Medio Oriente y para el Mundo. En la otra posición, desde hace 20 años, el Estado de Israel no ha ce-

sado de denunciar el proyecto civil de enriquecimiento de uranio (programa atómico) de Irán, como una trata que esconde realmente el proyecto para desarrollar la bomba atómica, y por lo tanto señalar a Irán como una amenaza directa a la existencia del estado israelita. Frente a ello, Irán había construido una cerca de protección alrededor del Estado de Israel financiando grupos terroristas en prácticamente todos los países vecinos de esa nación. Sin embargo, desde octubre de 2023 después de los lamentables y funestos atentados perpetrados por Hamas, organización que gobierna la Franja de Gaza y que ha sido clasificada como entidad terrorista por los gobiernos de occidente, Israel aprovechó la ocasión para atacar contundentemente a las milicias terroristas que formaban ese cinturón de seguridad que había construido Israel debilitando las capacidades de respuesta de Irán frente a un ataque como el del fin de semana pasado. En medio de esto, Israel ha atacado sistemáticamente bases militares Iranies, decapitando a su cúpula de científicos y militares. Irán está seriamente debilitado e incapacitado para responder contundentemente a las agresiones de su vecino que aprovecha el caos y la incertidumbre internacional para ampliar y ejecutar sus planes de dominio y extensión de poder en la región. Israel es consciente de que su mejor aliado es la incertidumbre que Trump
ha generado en el orden internacional y por ello aprovecha la oportunidad, no solo de atacar a Irán sino de continuar la ocupación del territorio palestino. En el inter, la comunidad internacional se ha quedado paralizada sin saber cómo reaccionar, sorprendida por el despliegue de poder estadounidense que representó el bombardeo de las instalaciones nucleares de Fordo, Natanz e Isfahán, en Irán, que se perpetuó pasando por lato todos los organismos de legitimación internacional como el Consejo de Seguridad de Naciones Unidas, y los de legitimación nacional (Congreso de los Estados Unidos de Amércia). Habrá que estar pendiente de los costos políticos no solo para la comunidad internacional, sino para la sociedad estadounidense.
El autor es director de la Oficina de Internacionalización del ITESO






Un espacio digno y especial para el descanso eterno Nichos disponibles en el Santuario












Mártires
Información 3314707921, o visítanos en el Arzobispado de Guadalajara. Alfredo R. Plasencia 995, Chapultepec Country.






















Porque estuve hambriento, porque tuve sed, porque era forastero, porque estuve enfermo, desnudo, encarcelado…
(Cf. Mt 25, 31-46)
P bro . M iguel Á ngel Á vila o rtiz
En el proceso pastoral de nuestra Diócesis seguimos caminando con un rumbo seguro. Este proceso se ha querido concretar en las periferias existenciales, que hemos discernido y asumido de forma sinodal y, en los últimos años generando un ambiente común de misericordia, procurando que la misión común de esta Iglesia de Guadalajara se concrete en las acciones pastorales de las Parroquias, Decanatos y Vicarías Episcopales en comunión con nuestro Obispo.
El andar en estas dos primeras etapas ha ido dando sus frutos y nos han mostrado sus retos; retos que hemos asumido con el espíritu de discípulos misioneros y siempre con una mirada de misericordia. Por ello como arranque de nuestra XII Asamblea Eclesial Diocesana tuvimos un momento para escucharnos sobre el caminar en estas etapas que hemos echado andar (de concientización y la etapa territorial) y queremos seguirlas manteniendo activas, dirigiéndolas hacia los sectores que conforman nuestra Iglesia particular.
En esta tercera etapa que se nos propone iniciar en nuestro caminar pastoral, se busca y se desea develar, tocar, escuchar, integrar y asumir a los distintos sectores que conforman esta Iglesia viva; para que, con la ayuda y la iluminación de la pastoral funcional y los carismas tan ricos y variados de la vida consagrada, podamos juntos identificar los sectores que deseamos tocar, escuchar, evangelizar y con un espíritu sinodal aprender de ellos a ser más eficientes en nuestra tarea misionera. Para ello es bueno que tengamos claro el significado de los conceptos que se tocarán en


esta XII Asamblea Eclesial Diocesana.
El concepto nuevo en nuestro lenguaje pastoral es SECTOR. A lo largo del caminar de nuestra Iglesia Diocesana, al sector lo hemos visto comúnmente como una porción de nuestro territorio parroquial, sinónimo de zona o barrio. Sector es una parte de una colectividad o territorio, de una sociedad o de la Iglesia, que tiene características peculiares y diferentes, que tiene como fin, facilitar una misión de manera organizada, para lograr una mayor efectividad en el objetivo que sea propuesto. Sin embargo, cuando hablamos de sectores no nos referimos a la división del territorio parroquial sino al conjunto de personas con un objetivo, misión, trabajo, vocación común.
En esta tercera etapa de la gran Misión de la Misericordia, tienen una importancia y protagonismo especial los sectores. Por eso debemos de entender hoy por sector: una porción de fieles o personas de la sociedad con un objetivo común, con características laborales, existenciales, circunstanciales y sociales semejantes; que al ser tocadas con conciencia e incluidas en la misión, facilitarán la misión permanente de la Iglesia diocesana de manera organizada, para lograr así una mayor efectividad en el trabajo pastoral.
No debemos de creer que las periferias existenciales que ya tenemos muy bien definidas en nuestras acciones pastorales en la Parroquia, Decanato y Vicarias ahora cambian. No, al contrario, estas nos deben de servir como puntos de referencia para elegir los sectores que debemos de discernir para su atención. Podemos decir con certeza que los sectores incluyen varias de las periferias existenciales. Por ejemplo: en la periferia de



las familias en crisis, existen, las familias pobres, las desunidas, las inmersas en la violencia, los divorciados, las familias de los desaparecidos, etc. En la de los jóvenes podemos ver que toca sectores, como las tribus urbanas, los adictos, los estudiantes, los ninis, el sector universitario, etc. En los adultos mayores por igual, los enfermos, los solos, los maltratados, los pobres, los asilados en casas de reposo, etc. En la descomposición del tejido social, se encuentran el sector de los desaparecidos y sus familias, los migrantes, las personas en situación de calle, los políticos, en cuanto pueden ser factor de cambio, etc. Los sacerdotes en crisis podemos ver una gama de
sectores, los que viven y prestan sus servicios en comunidades pobres, los que han dejado el ministerio por situaciones irregulares, los sacerdotes enfermos y los que se han jubilado.
Esta tercera etapa nos debe de llevar con esta dinámica Pastoral Diocesana a concretizar con mayor precisión nuestras acciones de misericordia en todos nuestros niveles de pastoral, deben de resonar en nuestras decisiones y reflexiones, las palabras de Cristo: ante el hambre de la gente que lo seguían “Denles ustedes de comer” (Mc 6, 36) o confortando a aquella mujer viuda que llora a su hijo muerto y que lleva a enterrar: “No Llores mujer” (Lc 7, 13).

M ichelle F letes
Con un especial encuentro que se llevó a cabo en la Parroquia de Nuestra Señora de la Paz, de esta ciudad, se presentó el libro “Arquitectura Religiosa Guadalajara, segunda mitad del siglo XX”, una obra que forma parte de la Biblioteca Tapatía, proyecto editorial promovido por la Secretaría de Cultura de Jalisco. Este ejemplar se convierte en el séptimo título de dicha colección, propone una nueva lectura del patrimonio arquitectónico sacro de la ciudad, explorando seis templos construidos en un periodo de transición y modernidad.
La Parroquia de Nuestra Señora de la Paz no solo es uno de los Templos presentados en el libro, además se le considera el primer Templo moderno de Guadalajara. En el presídium de la presentación de la obra, se encon traba la Dra. Claudia Rueda Velázquez, académica e in vestigadora de la Universidad de Guadalajara; el historiador y Pbro. Armando González Escoto, quien también realizó aportaciones para la elaboración del libro; y José Daniel López Her nández, Jefe de Patrimonio Artístico e Histórico.


El evento contó también con la presencia de autoridades culturales como José Luis Coronado, director de Museos y Galerías; la arquitecta Ximena López Nakashima, directora de Patrimonio Cultural de Jalisco; y Carlos González Martínez, director de Cultura Guadalajara.
Durante el evento, los especialistas subrayaron la relevancia de la misma Parroquia destacando que es un ejemplo de cómo la arquitectura religiosa fue adaptándose a nuevos lenguajes formales, a partir de las transformaciones impulsadas por el Concilio Vaticano II y por el contexto histórico del siglo XX.
La Dra. Claudia Rueda fue la encargada de ofrecer una primera reflexión sobre la obra. En sus palabras, subrayó que el libro no está dirigido únicamente a arquitectos o especialistas, sino a todo aquel que transita y habita Guadalajara. “Es una invitación a mirar con otros ojos nuestro entorno cotidiano”, expresó.





UNA MIRADA AL PATRIMONIO
El libro reúne los trabajos del Pbro. Armando González Escoto, así como de los arquitectos Venancio Ordoño y Francisco de Alba Martínez. Esta colaboración interdisciplinaria permite al lector acercarse al tema desde perspectivas complementarias, como lo es el contexto histórico, la técnica arquitectónica y el sentido espiritual de los espacios sagrados.
“Los seis templos estudiados, Nuestra Señora de la Paz, San Luis Gonzaga, la Divina Providencia, San Javier de las Colinas, Santo Domingo de Guzmán y la Preciosa Sangre de Cristo, son testimonio de una época de búsquedas formales, donde la modernidad arquitectónica dialogó con la tradición religiosa” señaló la Dra. Rueda.
Por su parte, el Pbro. Armando González explicó de manera detallada el Templo de Nuestra Señora de la Paz; habló de cómo es un hito al “romper” parcialmente con las estructuras clásicas, como la planta basilical romana, el estilo gótico o el barroco colonial que habían sido repetidas durante siglos en la arquitectura religiosa. Aunque mantuvo elementos tradicionales, como su planta
de tres naves y un ambulatorio gótico, la iglesia integró innovaciones radicales.
“La ausencia de fachada tradicional sustituida por un muro de vitrales, el uso de elementos estructurales modernos y la exploración de nuevas formas simbólicas, son cambios que también respondieron a las tensiones sociales y espirituales de la época, como la posguerra y la expansión urbana de Guadalajara”, destacó el Pbro. Armando.
UN LEGADO PRESENTE
Los especialistas expresaron que la presentación de “Arquitectura Religiosa Guadalajara, segunda mitad del siglo XX” fue un
llamado a contemplar el arte y la historia que se esconden en los Templos del entorno urbano, porque “más que una obra de consulta, es un testimonio del diálogo entre la espiritualidad, la modernidad y la identidad tapatía. Un puente entre lo divino y lo humano, entre la tradición y el futuro”. Al finalizar el evento se hizo entrega de constancias de reconocimiento tanto a la Dra. Claudia Rueda como al Pbro. González Escoto. Además, como parte del esfuerzo por difundir el contenido del libro, e invitaron a los presentes a leerlo, compartirlo y reflexionar sobre el legado arquitectónico que forma parte de la vida cotidiana de la ciudad.





















Adquiere el póster con la imagen oficial de Su Santidad

















En dos presentaciones: tamaño tabloide o carta, impreso en papel couché brillante de 230 gramos. (También disponible en medidas personalizadas). Pedidos al 3002-6470.






























TIERRA SANTA
R AMIRO E SCOTO R ATKOVICH
En un reciente viaje que hice con la intención de visitar Tierra Santa con un grupo de peregrinos, nos sorprendió el estallamiento del con icto bélico entre Israel e Irán. Como periodista, puedo decir que no es fácil estar en medio de esta situación, o más bien, en el centro del mismo, aunque sabemos que la llamada “guerra eterna” advierte la pérdida de vidas un día sí y el otro también, ahora se agrega un temor más al advertirse niveles que alcanzan los adjetivos “nuclear” y “atómico” ¡Y no, no es cómodo!
Como periodista, tenía la intención de visitar los lugares santos para hacer una serie de reportajes, crónicas que geolocalizaran Belén, Nazaret, Jerusalén y demostrar que estos sitios se encontraban fuera de los objetivos de drones y misiles, que no forman parte del con icto. Después de estar en la ciudad de El Cairo, en Egipto llegué solo a Jordania, ahí nos recomendaron no continuar nuestro camino por las restricciones entre las fronteras de la región.
CORRESPONSAL DE GUERRA
Y de pronto estaba ahí, en medio de un con icto siendo un corresponsal de guerra. Cuando me reporté con mis jefes me pidieron la primera nota del con icto y entonces comencé a narrar lo que veía, describir cómo los hoteles en Egipto y Jordania están plagados con detectores de metales y equipos de rayos x para equipajes y como todo es revisado minuciosamente como parte de los protocolos de seguridad.
Retenes en carreteras, garitas de seguridad en las fronteras, incluso, revisión de los equipos de cámaras tanto fotográ cas como de video para checar el nivel de lentes que usas y el contenido que grabas, son parte de los procesos de revisión que tienes que pasar incluso hasta tres veces en un mismo aeropuerto.
Las redes sociales en Medio Oriente también juegan su guerra, de ambos lados, los involucrados advierten que van ganando, algunos videos muestran con inteligencia arti cial, con fotos y videos manipulados o que no corresponden a la fecha forman parte de una propaganda que además de desinformar, alientan aún más el odio y la razón de tener un con icto activo y con ventajas.
Escuché varias veces las alarmas que advierten un posible ataque por misiles, un tono que alerta, que preocupa, que genera incertidumbre y que la adrenalina se convierte en miedo, luego una voz en árabe (porque estaba en Jordania) que advertía que era probable que observáramos en los cielos cruzar misiles o drones, estas palabras del guía asustaron a una menor que estaba junto a sus padres, comenzó a llorar, inmediatamente se


alejaron del sitio. Unos policías nos dijeron que era parte de un protocolo, pero es normal alterase cuando estás en un sitio que en esta medio de un con icto bélico.
EN ALERTA
En el último piso del hotel en donde estábamos hospedados, por las noches, la cámara estaba encendida para grabar lo que sucedía, advirtiendo la puntería del escudo jordano para dar con los artefactos que intentaban cruzar de Irán a Israel, era todo un espectáculo sí, pero conmocionaba el hecho de que uno de ellos pudiera pegar a la ciudad que vivía con aparente normalidad.
En un nuevo intento por cruzar hacia Israel, en el medio del desierto, las noticias advertían que el con icto tenia más protagonistas: Rusia, Estados Unidos, Alemania y Reino Unido, los bombardeos no eran ya sólo por las noches, los reportes llegaban desde temprano, donde advertían que los periodistas en Jerusalén, tenían que estar pasando a los bunkers de manera constante y que el escudo de hierro comenzaba a ser burlado, esto dejaba en claro que la guerra no daba ninguna garantía.
Tuve la oportunidad de estar en el Rio Jordán, donde bautizaron a Jesús y desde un monte vi a lo lejos la ciudad de Jerusalén, y fue un claro mensaje de tener paciencia para llega ahí en otro momento, como lo hizo Moisés para llegar a la tierra prometida.
Platiqué con hoteleros, restauranteros, prestadores de servicios varios, así como dependientes de tiendas de
souvenirs quienes saben que el con icto les afecta, no tienen clientes, no hay economía y deben entonces tomar una decisión, quedarse o buscar la vida en otras tierras.
La salida de Jordania hacia El Cairo, en Egipto no fue fácil, todo un día, primero en ferri y luego en autobús; la seguridad a tope, las revisiones aún más exhaustivas, y de ahí, volar a Madrid, donde advertimos vuelos llenos, justo de quienes huían de la guerra, y cuya entrada a Europa condicionaba tener un boleto de ida y de vuelta, dadas las circunstancias que podían tener más migración por ese motivo.
Una guerra que seguirá y como dice el Papa León XIV a propósito del tema: “Muchos están muriendo en esta guerra donde nadie gana”.




























































Con una inversión superior a los 100 millones de pesos, el presidente municipal de Zapopan, Juan José Frangie, inauguró el pasado 17 de junio el cuarto centro comunitario que conforma la red de espacios de encuentro que promueven entornos de sana convivencia, libres de violencia y que apuestan por la participación de toda la comunidad para buscar el bienestar colectivo, conocidos como Colmena. Este centro comunitario beneficiará a más de 39,000 habitantes de la zona en áreas como salud, educación y deporte, se ubica en Valle de los Molinos.
La Colmena cuenta con más de 2,550 metros cuadrados y ofrece espacios para la sana convivencia y la participación comunitaria. Con esta inauguración, se suman cuatro Colmenas en la ciudad, que atienden a más de 50,000 personas mensuales.
“Las tres Colmenas atienden a 52,000 personas mensuales. Este es un dato bien importante y nos ayuda muchísimo en el tejido social. Acabamos de meter transporte gratuito hacia las Colmenas; son cinco camionetas que recorren ida y vuelta para que la gente pueda estarse hasta más horas en la noche, porque muchas veces les da miedo llevarse a sus niñas o a sus niños”, detalló el alcalde.
En la inauguración, José Frangie resaltó la importancia que tiene el proyecto para más de 30 colonias a las que se brinda atención.
A las primeras tres Colmenas de Miramar, Villa de Guadalupe y San Juan de Ocotán, se suma ahora Valle de los Molinos y además se reforzará el propósito de reducir la desigualdad con la que se está construyendo en Lomas del Centinela, con lo que cumplirá el compromiso de campaña de llegar a cinco centros comunitarios.
Por su parte, Ximena Cárcamo, una niña de la zona, agradeció la apertura de la Colmena, que permitirá a los niños acceder a actividades lúdicas y educativas de manera segura y cerca de sus casas.
“Hoy ese sueño por fin se hace realidad. Hoy no tendremos que ir lejos para hacer talleres o para jugar en un lugar seguro. Aquí vamos a poder hacer tareas, aprender a bailar, a pintar, a tocar instrumentos, a leer libros e imaginar cosas grandes para nuestro futuro” expresó la menor.
Además, el gobernador de Jalisco, Pablo Lemus, reconoció el trabajo innovador en las Colmenas y destacó la belleza arquitectónica y calidez del nuevo centro comunitario.


“Estoy gratamente sorprendido de conocer esta Colmena, me impresionó muchísimo. Me impresionó su belleza arquitectónica, su sencillez, pero a la vez su calidez. Es la colmena más grande que he visto”, mencionó.
El Presidente Municipal, Juan José Frangie Saade, destacó que los proyectos de Colmenas han sido fundamentales en la reconstrucción del tejido social en Zapopan. Según datos, la construcción de una Colmena puede disminuir el índice delictivo hasta en un 30%. Por ello, invitó a los ciudadanos a cuidar y frecuentar estos espacios comunes.
En Valle de los Molinos, la inversión ha sido significativa, con más de 300 millones de pesos destinados a obras como la Unidad Deportiva, Valle de los Molinos, el Parque Rojo, el Parque de Valle
de los Molinos y Zapopan al Cubo. Estos proyectos buscan promover la sana convivencia y brindar oportunidades para el desarrollo de la comunidad.
EL DATO
El “Programa Colmena” en Zapopan se refiere a una red de centros comunitarios de inclusión y emprendimiento que buscan ser espacios seguros e inclusivos para la comunidad, ofreciendo talleres, capacitaciones, asesorías y eventos que brindan herramientas y conocimientos a los ciudadanos. Estos centros, conocidos como “Colmenas”, son espacios donde se fomenta el aprendizaje colectivo y se busca fortalecer el tejido social, reduciendo la delincuencia en las zonas donde se ubican.
P bro . V íctor J esús N úñez r adilla d iocesis de a ca P ulco
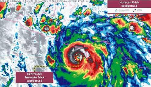
El huracán Erick tocó tierra en los estados de Oaxaca y Guerrero como categoría 3 en la escala de Saffir-Simpson, dejando una estela de destrucción y preocupación en su camino. La gente de estas regiones, aún convaleciente de los estragos de Otis categoría 5 de octubre de 2023, se enfrentó a una nueva prueba de resistencia y fe. Las lluvias torrenciales y los vientos huracanados azotaron la costa, causando daños en viviendas, carreteras y servicios públicos. La preocupación se apoderó de la población, que temía por la seguridad de sus seres queridos y la pérdida de sus bienes.
Sin embargo, en medio de la adversidad, la esperanza comenzó a surgir. La gente se unió para ayudar a los más necesitados, brindando apoyo y solidaridad a aquellos que lo perdieron todo. La fe en la providencia de Dios también se hizo presente, ya que muchos buscaron consuelo en la oración y la reflexión.

A medida que pasaban las horas, la magnitud de los daños comenzó a hacerse evidente. Las autoridades informaron lamentablemente de dos fallecidos: Un menor de edad en el estado de Guerrero en la localidad de San Marcos, después de ser arrastrado por un arroyo cuando su madre intentó cruzarlo con él en brazos; y una persona adulta, que murió electrocutada


en el estado de Oaxaca, en el municipio de San Pedro Pochutla, mientras ayudaba en tareas de remoción de escombros y manipuló cables de alta tensión.
La ayuda de la Iglesia, organizaciones civiles y gubernamental, no se hizo esperar. Se habilitaron refugios temporales en templos y escuelas, se siguen distribuyendo víveres y suministros de primera necesidad. La solidaridad de la gente es palpable, ya que muchos se están ofreciendo como voluntarios para ayudar en las tareas de rescate y reconstrucción. La Cruz Roja Mexicana ha desplegado equipos de rescate y atención médica para ayudar a los hermanos afectados.
El Arzobispo de Acapulco Mons. Leopoldo González envió un mensaje al presbiterio: “Muchas gracias por su corazón abierto a la necesidad de nuestros hermanos en la Costa Chica”, así mismo, dio instrucciones al Vicario Episcopal de esta región P. Gregorio Ríos Fajardo, para organizar el apoyo en despensa, medicinas y ropa a los hermanos dam-
https://academy.arquimediosgdl.org.mx


nificados, así como al P. Leonardo Morales, Coordinador de Caritas Diocesana, para hacer un recuento de necesidades apremiantes y estudiar el camino práctico para hacer llegar la ayuda.
A pesar de los desafíos, la gente de Oaxaca y Guerrero se muestra resiliente y determinada. La experiencia del huracán Otis nos ha enseñado a estar preparados y apoyarnos mutuamente en momentos de crisis.
La ayuda y el apoyo continúan llegando. La gente se organiza para empezar a reconstruir sus hogares y comunidades. La fe en la providencia de Dios sigue siendo una fuente de consuelo y fortaleza.
En medio de la destrucción y el dolor, la esperanza y la solidaridad brillan como faros de luz. El pueblo de Oaxaca y Guerrero está demostrando que, incluso en los momentos más difíciles, la fe y la unión pueden hacer la diferencia en este camino hacia la recuperación y la reconstrucción.
















































S ERGIO P ADILLA M ORENO
Poco después del mediodía del pasado jueves 19 de junio, justo del día en que la Iglesia celebraba la Solemnidad del Corpus Christi, mi madre, doña Elva Yolanda Moreno Orozco expiró después de varios días en que su cuerpo se fue deteriorando aceleradamente a causa de las enfermedades y complicaciones propias de su avanzada edad. Un día antes había recibido, por última vez, en un mínimo fragmento a Jesús Sacramentado, recordando lo que dice la secuencia que se proclamó ese día: “en el mínimo fragmento entero late el Señor.”
Mi madre nació el 24 de enero de 1942 en Tamazula de Gordiano, aunque la mayor parte de su vida la desarrolló en Guadalajara. El 23 de enero de 1965 contrajo matrimonio con René Antonio Padilla Jiménez, en el templo de Santa Rita de Casia, en la colonia Chapalita, en Misa presidida por su tío, el P. Ramiro Moreno Castañeda, MSpS. Como fruto de ese matrimonio en la familia que ellos forjaron a lo largo de más de sesenta años está mi hermano René, su esposa Rosy y sus hijos Andrea, Miguel y José, además de un servidor, mi esposa Margarita y nuestro hijo Alonso
La partida de mi madre está todavía muy fresca en nuestros corazones y seguramente que el tiempo nos ayudará a acomodar nuestros sentimientos, pero también el tiempo nos permitirá ahondar en los recuerdos y el legado que nos dejó una mujer que siempre demostró su capacidad de amar y darse generosamente a los demás, pues, se dedicó como madre en cuerpo y alma a formar y educar a sus dos hijos, además de ser factor de unidad en la familia. Pero algo que marcó profundamente la vida de mi madre fue que desde el año de 1990 y durante 35 años, se convirtió, literalmente, en los ojos y cuidadora de mi padre, a causa de una ceguera intempestiva que lo marcó desde entonces. Ella fue testimonio de lo que es verdaderamente amar como esposa en las buenas y en las malas, en la salud y en la enfermedad y en la perseverancia matrimonial hasta que la muerte les separó.
Otro rasgo de su generosidad, y que tiene que ser reconocido en la historia de su vida, fue el empeño y


pasión que puso en la cristalización y consolidación de lo que fue la construcción del templo de Nuestra Señora de las Victorias, pues mi madre fue parte del equipo de laicos que trabajaron junto al P. Antonio Luna Cid, desde principios de 1979 y hasta el 7 de noviembre de 1988, cuando el P. Antonio fue nombrado Párroco por el Sr. Cardenal Juan Jesús Posadas Ocampo. Durante más de dos décadas mi madre cantó, domingo a domingo, en dos de las Misas vespertinas y

todavía muchos feligreses la recuerdan por este servicio que prestó en la parroquia. Finalizo este texto de homenaje a mi madre con estas palabras del espectacular nal de la Segunda Sinfonía “Resurrección” de Gustav Mahler: “¡Resucitarás, sí, resucitarás, corazón mío, en un instante! Lo que ha latido, ¡habrá de llevarte a Dios!”
padilla@iteso.mx
Una señal que conecta la fe con la vida diaria que acompaña y comparte la vida de la iglesia y de sus creyentes.
Una radio pastoral con más de 75 programas, más de 100 conductores las 24 horas del día.
Un lugar de encuentro con la vivencia del Jesús vivo, para dejar huella en ti y que tú la dejes en los demás. Una señal cercana, que anuncia, escucha y sirve.

QUERIDA LUPITA:
Te escribo para agradecer a estos medios de comunicación católicos que nos inspiran para vivir de acuerdo a los criterios de Cristo. Nosotros éramos una familia con valores, pero algo nos faltaba y desconocíamos a Dios. Llegó una crisis de la cual pudimos salir con ayuda de la Iglesia. Hemos adoptado hábitos católicos como la Misa dominical, las obras de misericordia y los retiros espirituales, y podemos decir que somos felices.
Bárbara y Pedro A.
HERMANOS MÍOS, BÁRBARA Y PEDRO:
“Felices son los íntegros, los que siguen las enseñanzas del Señor” (Sal. 119, 1-2).
Bien se dice que la felicidad no es un destino al que se llega, sino una forma de vivir el día a día. Implica cultivar hábitos que promuevan el bienestar. Visto así, podemos decir que la felicidad no es un derecho sino un deber. ¡Tenemos deber de ser felices! Aristóteles hablaba de la felicidad co-
mo el resultado de la vida virtuosa. Esto signi ca que podemos ser felices si adoptamos un estilo de vida saludable que abarque todas las dimensiones de nuestro ser.
Vamos proponiendo a nuestros seres queridos el adoptar hábitos saludables a nivel físico, emocional y espiritual.
Algunos ejemplos podrían ser:
A nivel físico: mejorar nuestra alimentación, adoptar una higiene del sueño (dormir bien), hacer ejercicio día a día. ¡Propóntelo!
A nivel emocional: cultivar pensamientos positivos, frecuentar a los ami-
gos, tener diálogos tanto ligeros como profundos a nivel familiar; gozar de los buenos momentos, expresar gratitud. Desarraigar la envidia del corazón evitando comparaciones y valorando lo que somos y tenemos. Combatir la crítica y la queja con determinación. Adoptar una misión de servicio a los demás, practicar obras de misericordia nos proporciona salud mental. Hemos de recordar que antes de cada sentimiento hay un pensamiento, por ello es necesario cultivar buenas lecturas con el n de darle objetividad a nuestras ideas, y sustentar nuestras creencias en La Verdad. Alimentar nuestro intelecto contribuye e cazmen-
te a sanar nuestras emociones. A nivel espiritual: iniciar el día con oración. Una oración sincera que sea diálogo con Dios, iniciando siempre con alabanza y gratitud, pidiendo perdón por nuestras faltas y ofreciendo nuestros esfuerzos sinceros por imitar a Cristo. Decidir perdonar a quien me lastimó y soltar el pasado.
La felicidad no depende de unas circunstancias perfectas sino de mantener una actitud perfecta incluso ante las situaciones más adversas.
Lupita Venegas/Psicóloga Facebook: lupitavenegaso cial

Junio 30
Pbro. Guillermo Alarcón Acosta
Julio 1
Pbro.J. Luis Arellano Cortés
Pbro. Francisco de Jesús López Villaseñor
Julio 2
Pbro. Adrián Alejandro Avalos Vargas
Pbro. Marco Antonio Alejo Aranza
Pbro. J. de Jesús Martínez Jiménez
Pbro. Jaime Agustín Velázquez Madero
Pbro. Luis Tonatiuh Zepeda de Anda
Julio 3
Pbro. Juan Antonio Betancourt García
Pbro. Enrique Hernández Osorio
Pbro. Rafael Romero Temores
Pbro. Edgar Martínez García
Julio 4
Pbro. José Salvador Rodríguez Padilla
Pbro. Jorge Andrés Uribe Prieto
Pbro. Carlos Ruíz Martínez


Julio 5
Pbro. Adalberto Miramontes Rivera
Pbro. Carlos Lara López
Pbro. Abraham Mercado Castro
Pbro. Fernando Robles Regalado
Pbro. Carlos Alonso Sánchez Jáuregui
Una vez un señor me preguntó:
“Padre, ¿qué es el Ánima Sola y el Ánima de la Basura? Porque he oído de ellas y quisiera saber qué son”. Yo le respondí: “El Ánima Sola y el Ánima de la Basura forman parte del imaginario religioso popular, especialmente en contextos sincréticos. No son parte de la doctrina oficial de la Iglesia”.
1. ¿ QUÉ ES EL ÁNIMA SOLA ?
El Ánima Sola es una representación popular de un alma del purgatorio que sufre en soledad, encadenada, entre llamas, pidiendo ayuda. Se le atribuyen favores o milagros cuando se le reza o se le encomiendan oraciones.
• Se le suele representar como una mujer penitente, entre llamas, con las cadenas rotas, como símbolo de su deseo de liberación.
• En algunos lugares, se le pide ayuda en problemas urgentes o imposibles, a cambio de rezos o velas.
2. ¿ QUÉ ES EL ÁNIMA DE LA BASURA ?
El Ánima de la Basura es una figura menos conocida y más vinculada al sincretismo con prácticas esotéricas o espiritismo popular. Se refiere, supuestamente, a un alma olvidada, rechazada o impura, que vaga por los lugares impuros (como la basura), y que puede intervenir si se le hace algún tipo de ritual o petición.
• Suele asociarse con prácticas de magia negra, brujería o espiritismo, no con la fe cristiana.
• No es reconocida ni promovida en ninguna forma por la Iglesia.
¿ QUÉ DICE LA IGLESIA SOBRE ESTAS DEVOCIONES ?
1. Sobre el Ánima Sola:
• La Iglesia no aprueba el culto al Áni-
ma Sola como figura separada, ya que puede fomentar supersticiones o desviaciones de la verdadera devoción por las almas del purgatorio.
• Sin embargo, sí enseña la caridad cristiana de orar por las almas del purgatorio, especialmente, por aquellas más necesitadas.
• Cuando la devoción se centra en pedir favores a cambio de velas o pactos, sin verdadera conversión o sin relación con Cristo, se considera desviada o supersticiosa.
2. Sobre el Ánima de la Basura:
• La Iglesia rechaza toda práctica que tenga vínculos con espiritismo, superstición o magia, incluso si se reviste de formas religiosas.
• Involucrarse con estas prácticas puede abrir la puerta a errores doctrinales o influencias espirituales dañinas.
ENSEÑANZA DE LA IGLESIA:
• Solo Dios es el Señor de los vivos y de los muertos (cf. Rm 14,9).
• Se debe orar por los difuntos, pero no invocarlos ni hacerles promesas como si fueran intermediarios mágicos.
• Las almas del purgatorio no deben ser invocadas como “espíritus” que cumplen favores, sino ayudadas con oraciones, especialmente la Misa.
¿Es correcto aceptar intenciones de Misas por el “Ánima Sola” o el “Ánima de la Basura”?
Desde una intención bien entendida:
• Sí es correcto orar y ofrecer Misas por las almas del purgatorio, incluso por las más olvidadas o necesitadas de misericordia.
• Si alguien pide una Misa “por el alma más sola”, “por el alma más olvidada”, o “por un alma que necesita

más del perdón de Dios”, esa intención es válida y puede ser acogida con un sentido pastoral.
Pero si la intención se basa en superstición:
• No es correcto pedir una Misa pensando que esas “ánimas” son espíritus que hacen favores, cumplen pactos o protegen a cambio de una Misa o vela.
• Tampoco es válido pedir Misas por “ánimas” como si se tratara de entidades con poder propio (como el “ánima de la basura”) dentro de creencias de espiritismo, santería o brujería.
• En esos casos, la intención no es católica y no debe ser aceptada tal cual, sino corregida pastoralmente.
Hasta la semana que viene, si Dios quiere.



P BRO . A DRIÁN R AMOS R UELAS

Diez mil dificultades no hacen una duda, pero vencerlas sí hacen un santo (San John Henry Newman).
SAN EDMUND CAMPION.

nglaterra es una nación históricamente reconocida como de las más potentes e in uyentes de Europa. La Gran Bretaña ha sido punto de referencia político, cultural, artístico, económico y social. La religión cristiana ha sido determinante en la conguración de esa nación compuesta por varias islas. El catolicismo y el anglicanismo después tienen predominancia en esa región.
Han sido varios los cristianos reconocidos en el calendario litúrgico o en el santoral. San Pablo VI reconoció a cuarenta Mártires de Inglaterra y Gales.
Nos enfocamos en unos pocos:
SAN ALEXANDER BRIANT.
Fue uno de los cuarenta Mártires canonizados por San Pablo VI. Se convirtió al catolicismo cuando se encontraba estudiando en la Universidad de Oxford. Era uno de los Sacerdotes más buscados por el gobierno y fue precisamente intentando capturarlo cuando lo encontraron y lo detuvieron. Dos semanas más tarde, le trasladaron a la Torre de Londres, donde fue cruelmente torturado.
Fue uno de los profesores más relevantes de Oxford de la época y se ordenó como Diácono anglicano. Tenía dudas con respecto a la legitimidad de la Iglesia anglicana. Debido a este con icto de conciencia, abandonó Oxford. Finalmente, se hizo católico en Douai (Francia). Partió a Roma, donde ingresó en la Compañía de Jesús. Escribió “Diez razones”, explicando por qué el catolicismo era verdadero, desmontando el anglicanismo. Se imprimieron 400 copias de este texto, que fueron muy leídas. Se le propuso regresar al anglicanismo y ascender. Él rechazó la oferta. Torturado, murió después en la horca.
SAN JOHN HENRY NEWMAN.
Este brillante hombre, en principio anglicano y después católico, dejó una vida apasionante, una conversión que conmocionó a Inglaterra, y un potente legado intelectual, sugerente para el mundo de ayer y de hoy. Grandes temas como fe y razón, conciencia, política, educación, laicado, fueron ampliamente desarrollados en sus escritos. Newman está más vigente que nunca: los problemas actuales, en gran medida, son similares a los de la Inglaterra victoriana de su época: entre otros, la comprensión racional de Dios, la necesidad de la forma-
ción del laicado y la constante búsqueda de la verdad moral. Actualmente, sus obras son muy leídas. Fue citado ampliamente por el Papa Benedicto XVI. Otros santos ingleses: Alfredo el Grande, Edmundo, Ethelberto II, Esteban Harding, Aelredo de Rielvaux, Anna Line, Bonifacio, Eduardo, Simón Stock, Juan Fisher, Tomás Moro, Juliana de Norwich y Robert Lawrence.
1
Sufrieron la pena extrema por mantener la unidad de la Iglesia y la supremacía de la Sede Apostólica.
2 3
Mantuvieron su fe casi en totalidad por los métodos más modernos como la educación del clero y de la juventud.
Sufrieron, más que la tortura, la continua opresión de las leyes aprobadas por el pueblo o por el Parlamento atentando contra el orden que emanaba de la santa religión.


El pasaje del Santo Evangelio que nuestra Madre Iglesia presenta hoy, que celebramos a los Santos Apóstoles Pedro y Pablo, relata un importante momento en la vida de Jesús, cuando el Padre reveló a Pedro el misterio de su Hijo. Jesús enseguida destacó el origen divino de la fe de su discípulo, manifestando así su propia verdad: ser el Mesías, el Hijo de Dios vivo. E instituyó a Pedro, digno representante de los pequeños, como cimiento de su Iglesia (Mt 16, 13-19).
PEDRO ES EL PRIMERO EN PROFESAR LA FE EN JESÚS
A través de la lectura del Evangelio según San Mateo vemos que después del triunfo inicial, Jesús tuvo que afrontar el rechazo de su pueblo. El Maestro, a partir de este momento, se dedicará a instruir a los discípulos, con miras a formar su comunidad, y por eso les lanza un doble cuestionamiento en torno a su propia identidad. Primero, con referencia a la gente.
A lo que ellos contestaron que el pueblo lo tenía por un enviado especialísimo de Dios (véanse vv. 13-14). Jesús, en segundo lugar, les preguntó:
“‘Y ustedes, quién dicen que soy yo?’. Simón Pedro tomó la palabra y le dijo: ‘Tú eres el Mesías, el Hijo de Dios vivo’” (vv. 15-16).
A la confesión de la mesianidad de Jesús, San Mateo añade la de la liación divina (compárese v. 16 con Mc 8, 29 y Lc 9, 20). Corresponde a Pedro ser el primero en profesar la fe en Jesús, con una fórmula que describe su ser y su misión. Estos dos títulos: ‘Mesías’ e ‘Hijo de Dios vivo’, en cierto modo, resumen la fe de la Iglesia. “Y YO TE DIGO A TI QUE TÚ ERES PEDRO Y SOBRE ESTÁ PIEDRA EDIFICARÉ MI IGLESIA”
A la confesión de Pedro, Jesús respondió con una felicitación: “¡Dichoso tú, Simón, hijo de Juan, porque esto no te lo ha revelado ningún hombre, sino mi Padre,
que está en los cielos!” (v. 17). Y Jesús, al punto, le con ó a Pedro la misión de ser la roca sobre la que se asentará su Iglesia:
“Y yo te digo a ti que tú eres Pedro y sobre esta piedra edifi caré mi Iglesia. Los poderes del infierno no prevalecerán sobre ella” (v. 18).
PEDRO TIENE UNA FUNCIÓN CENTRAL
Aunque el edi cio es obra y dominio de Jesús: ‘mi Iglesia’, Pedro tendrá una función central:
“Yo te daré las llaves del Reino de los cielos; todo lo que ates en la tierra quedará atado en el cielo, y todo lo que desates en la tierra quedará desatado en el cielo” (v. 19).
La entrega de las llaves equivale al nombramiento de mayordomo supremo, como aparece en Isaías 22, 19-23. Esto nos ayuda a comprender la sorprendente signi cación de la misión de Pedro, hijo de Juan.
Muy apreciables lectores, para actualizar el santo Evangelio del día de hoy, los exhorto a contemplar que Pedro se muestra como digno representante de los pequeños, a quienes el Padre se complace en revelar los Misterios del Reino: “Yo te bendigo, Padre, Señor del cielo y de la tierra, porque has ocultado estas cosas a sabios e inteligentes, y se las has revelado a los pequeños” (Mt 11, 25).
BANCOMER
CREATOR COMUNICACIÓN, S DE RL. DE CV. PERIODICO SEMANARIO
CUENTA PARA DEPOSITOS
01 58 98 90 44
INTERBANCARIA (TRANSFERENCIAS)
01 23 20 00 15 89 89 04 40