Appendix 1: Cultural Resource Survey Forms
Rhode Island Historical Preservation & Heritage Commission HISTORIC PROPERTY DATA FORM
TOWN East Providence VILLAGE Riverside
ADDRESS 233 Bullocks Point Ave
NAME(s)
DATABASE ID#
PLAT/LOT 312/07/008
PROPERTY TYPE Bld OWNERSHIP Priv
STATUS NHL NR DOE CDOE Elig Indiv Dist C NC
NR DISTRICT Photo ID EAPR_233Bullockspointave_W
USES: Select terms from National Register table
CURRENT Domestic/Mult. Dwelling HISTORIC Domestic/Mult. Dwelling
SITING: SETBACK 20 ft LOT SIZE 12,196.8 sq ft
STORIES 1.5 ROOF(s) (1)End Gable
MATERIALS: Select terms from National Register table
ROOF Asphalt WALL Synthetics/Vinyl
FOUNDATION Concrete OTHER Photo ID EAPR_233Bullockspointave_ NE
WINDOWS (1) one over one double hung sash vinyl, (2) casement sash ALTERATIONS:
INTEGRITY Excellent Good Fair X Poor Destroyed
DATE SOURCE NAME (person/firm/organization) ROLE Original Construction Ca. 1882 Map G.M. Hopkins Surveyor
ARCHITECTURE: If more than one, list & number in order of importance TYPE STYLE(s) No Style
SURVEYOR Brianna Jordan DATE 12/2021
REVIEWER
DATE
HISTORIC NARRATIVE AND CONTEXT
The first half of the nineteenth century designated Riverside as a destination for wealthy travelers who sought relaxation away from city life.1 By the latter half of the nineteenth century Riverside developed into a busy resort area populated mostly with small summer vacation cottages and luxury resort and hotels.2 By the late 1890s Riverside is said to have had the largest concentration of summer residences on Narragansett Bay.3 There were a multitude of amusement parks, like Crescent Park and Boyden Heights.4 The middle class’s expansion into Riverside was aided with by the establishment of the Providence and Bristol Company Railroad constructed in the mid-1850s.5 The railroad aided the ease of access in and out of Riverside. By the turn of the twentieth century Riverside began to transition into a year-round suburban neighborhood, with both construction of new houses and changing the summer cottages to permanent use.6 Riverside’s new commercial, civic, and institutional activity centered around the Riverside Square and the Riverside Passenger depot.7 Historically, Riverside square was a dense commercial sector that built up to accommodate the needs of vacationers and then eventually, suburban residents. Small, free -standing businesses like groceries, barbershops, auto shops, leisure sites and bakeries were present at the beginning and middle of the twentieth century catering to the needs of the expanding neighborhood populace.8
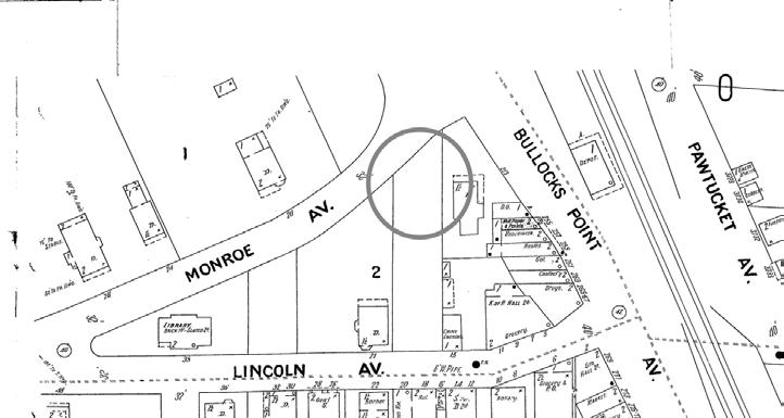
233-241 Bullocks Point Avenue contains a dwelling, built circa 1882 and a commercial building built circa 1943, adjacent from the Riverside railroad Depot (figure 1). 9 The house, number 233, sits on the entrance to Monroe Avenue from Bullocks Point. The footprint of the building indicates very little change to the location or layout of the foundation from its indication on a map from 1882.10 Over the years, the house number has changed. The House was listed as 239 Bullocks Point Ave up until 1949 when it changed to 277 Bullocks Point Ave.11
233 BULLOCKS POINT AVENUE IN THE TWENTIETH CENTURY AS A DOMESTIC DWELLING
The dwelling at 233 Bullocks Point Avenue has served as a domestic dwelling for over one hundred years. In 1910, Augustus Miner and his wife Florence are listed at 239 Bullocks Point Ave.12 Augustus Miner was born in 1885 and immigrated to the United States when he was just 9 years old from Castelfranco in Miscano, a municipality in southern Italy. 13 Augustus Miner would go on to own a fair swath of buildings inside the Riverside Square area as well as his own barber shop in the current 241 Bullocks Point Ave building located on the property. Augustus Miner, his wife and three boys would live in the house for the next sixty-five years. Mr. Miner would go on to live until the age of 91, passing away in 1974, having watched and contributed to the expansion of the neighborhood. 14
1 Richard Longstreth, East Providence, Rhode Island Statewide Preservation Report (Providence: Rhode Island Historical Preservation Commission, 1976), 34
2 Longstreth, East Providence Preservation report, 34-36.
3 Longstreth, East Providence Preservation report, 38.
4 Longstreth, East Providence Preservation report, 39-40.
5 Bruce Remick, Rhode Island: Living in Riverside first 80 years, 1870 to 1950 (Rhode Island: n.p., 2021), 50
6 Longstreth, East Providence Preservation report, 38.
7 Ibid.
8 See Sanborn Map Company, "Sanborn Fire Insurance Maps", East Providence, Providence County, Rhode Island, 1920, New York: Sanborn Map Company, 1921. https://digitalsanbornmaps-proquestcom.rwulib.idm.oclc.org/browse_maps/40/8075/39395/41291/561517?accountid=25133
9 G.M. Hopkins, “Atlas of the City of Providence R.I. and Environs. From Official Records, Private Plans and Actual Surveys” 1882, David Rumsey Map Collection. https://www.davidrumsey.com
10 Ibid.
11Sanborn Map Company, "Sanborn Fire Insurance Maps", East Providence, Providence County, Rhode Island, 1950-51, New York: Sanborn Map Company, 1921. https://digitalsanbornmaps-proquestcom.rwulib.idm.oclc.org/browse_maps/40/8075/39396/41297/562069?accountid=25133
12 “World War I Draft Registration Card for Augustus Miner”, Serial no. 3144, no. 2435, Local Draft Board 5, City of East Providence, RI, 1917. Ancestry.com
13 “Augustus Miner”, grave marker, Glenwood Cemetery, East Greenwich, Kent County, RI, digital. https://www.findagrave.com/memorial/199614278/augustus-miner
14 “Obituaries: Augustus Miner”, The Providence Journal, (Providence, R.I.), Dec. 9, 1974.
Augustus’ story of immigrating to the United States was not dissimilar to many new citizens of the time. From the late ninetieth century to the start of World War I, an estimated 4 million Italian immigrants arrived in the United States.15 Most came in the first fifteen years of the twentieth century with a majority coming from southern Italy and Sicily.16 “In the United States, Rhode Island’s proportion of Italians—nearly twenty percent— is the largest in the country.”17 The heaviest concentration of Italian Immigration to Rhode Island was the Providence Metropolitan area, Westerly and Bristol County, with East Providence in between.18
15 “How the Italian Immigrants came to New England”, New England Historical Society, Updated 2021. . https://www.newenglandhistoricalsociety.com/how-the-italian-immigrants-came-to-new-england/ 16 Ibid.
17 Carmela Santoro, The Italians in Rhode Island: The Age of Exploration to the Present, 1524 to 1989 (Providence: RIHC & The Rhode Island Publications Society, 1990), 6. file:///Users/briannajordan/Desktop/italian.pdf 18 Ibid.
Figure 1. Map of Riverside, 1882, showing original footprint of building.
Figure 2. Panoramic Map of Riverside, 1894, building is number 19.
Figure 3. Close up of 233 Bullocks Point Avenue footprint, 1895.
Figure 4. Early 1900s showing 233 Bullocks Point Avenue.
Figure 5. 1920-21 Sanborn Fire Insurance Map showing footprint of 233 Bullocks Point Avenue.
Figure 6. 1950-51 Sanborn Fire Insurance Map showing footprint of 233 Bullocks Point Avenue and additions.
STATEMENT OF SIGNIFICANCE
233-241 BULLOCKS POINT AVENUE
Context
233-241 Bullocks Point Avenue is a building and structure located on one property lot in the Riverside neighborhood of East Providence, Rhode Island. The building is a 1 and 1/2 story end gable house with no particular architectural style. The structure is a one-part commercial block. The building, 233 Bullocks Point Avenue, is associated with the early development of Riverside as a permanent year-round community in the latter half of the nineteenth and early twenty-century. The property is on the edge of Lysander Flagg’s Cedar Grove Villa platted lots which were one of the first major housing development in the area. This housing development was urged on by the existing 1850’s railway, the Providence, Warren, and Bristol railroad, that carried passengers from Providence to the East Bay. Further, the building is associated as an example of Southern Italian American migration to Bristol County during the last decade of the nineteenth century and into the start of the twentieth century.
Criteria Evaluation
Criterion A
233 Bullocks Point Avenue does not appear to be individually eligible for listing in the National Register of Historic Places under Criterion A. It is associated with the development of the Riverside neighborhood as a yearround permanent community as it expanded from its earlier established shore-resort beginning. A building like 233 Bullocks Point Avenue is an example of the increase desire for private suburban homes on the picturesque East Bay. 233 Bullocks Point Avenue is also associated with broad patterns of immigration in the late nineteenth century to Rhode Island, and its specific association with migration of Southern Italian immigrants into the Bristol County area. Local immigration patterns into Bristol County and Riverside can be linked with the growth of the neighborhood as a dense, single family residential neighborhood for middle class workers. However, this property is not significantly associated with these contexts.
Criterion B
233 Bullocks Point Avenue does not appear to be eligible for listing in the National Register under Criterion B as having any association with individuals who have contributed to local or national history. While the building has undergone a historic evaluation, there is nothing to suggest that any significant individual can be identified with the property as to illustrate that individual’s important achievement in history.
Criterion C
233 Bullocks Point Avenue does not appear to be eligible for listing in the National Register under Criterion C has having any association with a (1) distinctive characteristic of a type, period, or method of construction, or (2) the work of a master, or (3) possess high artistic value. 233 Bullocks Point Avenue is a plain end-gable construction with no stylistic theme. While the orientation of the gable may indicate a particular New England style of architecture, there are far more ornate and significant examples to pick from already on the register. Lastly, there are no indications that 233 Bullocks Point Avenue was constructed by any significant architect or artistic master.
Criterion D
Criterion D, which is linked to important information potential that must have had information to contribute to the understanding of human history or pre-history does not apply to 233 Bullocks Point Avenue.
Aspects of Integrity
233 Bullocks Point Avenue has retained integrity of location, design, and setting. The location of the building has not changed. The building is on the same plat of land as indicated in a variety of century nineteenth maps. Moreover, the footprint of 233 Bullocks Point Avenue is very unlikely to have changed, if at all, from its original construction as the footprint is steadily consistent throughout the historic research conducted. The setting, the northern section of Riverside Square and the area surrounding 233 Bullocks Point Avenue, has remained constant within the building’s historic context period of 1880-1950. 233 Bullocks Point Avenue has not retained its integrity of workmanship, material, feeling or association. Unfortunately, 233 Bullocks Point Avenue has had unsympathetic changes made to its material integrity which often happens to workhorse buildings relied on by a community. The addition of vinyl siding on the exterior and windows of the house has affected the workmanship, feeling and association of the building in its historic context.
It is the opinion of this statement that although 233 Bullocks Point Avenue is situated on Riverside Square and are likely to be significant within Criterion A, 233 Bullocks Point Avenue has lost its historic integrity. Due to a lack of integrity, the building cannot display its significance within its respective historic context and therefore are unlikely eligible for the National Register. Finally, it should be noted that if there was restoration of 233 Bullocks Point Avenue with the original intended material this would likely rehabilitate its integrity.
BIBLIOGRAPHY
“Augustus Miner”, grave marker, Glenwood Cemetery, East Greenwich, Kent County, RI, digital. https://www.findagrave.com/memorial/199614278/augustus-miner
Hopkins, G.M. “Atlas of the City of Providence R.I. and Environs. From Official Records, Private Plans and Actual Surveys” 1882, David Rumsey Map Collection. https://www.davidrumsey.com.
“How the Italian Immigrants came to New England”, New England Historical Society, Updated 2021. https://www.newenglandhistoricalsociety.com/how-the-italian-immigrants-came-to-new-england/
“Obituaries: Augustus Miner”. The Providence Journal. (Providence, R.I.), Dec. 9, 1974.
Remick, Bruce. Rhode Island: Living in Riverside first 80 years, 1870 to 1950. (Rhode Island: n.p., 2021).
Richard Longstreth. East Providence, Rhode Island Statewide Preservation Report. (Providence: Rhode Island Historical Preservation Commission, 1976).
Sanborn Map Company, "Sanborn Fire Insurance Maps". East Providence. Providence County. Rhode Island. New York: Sanborn Map Company. 1921.
Santoro, Carmela. The Italians in Rhode Island: The Age of Exploration to the Present, 1524 to 1989. (Providence: RIHC & The Rhode Island Publications Society, 1990).
“World War I Draft Registration Card for Augustus Miner”, Serial no. 3144, no. 2435, Local Draft Board 5. City of East Providence. RI. 1917. Ancestry.com.
Figures
Figure 1. Map of Riverside, 1882, showing original footprint of building. Hopkins, G.M. “Atlas of the City of Providence R.I. and Environs. From Official Records, Private Plans and Actual Surveys” 1882, David Rumsey Map Collection. https://www.davidrumsey.com
Figure 2. Panoramic Map of Riverside, 1894, building is number 19. “Panoramic View of Riverside, East Providence”. 1894. J. Rafferty Collection.
Figure 3. Close up of 233 Bullocks Point Avenue footprint, 1895. Everts & Richards. “East Providence Town”. 1895. Historic Map Works.
Figure 4. Early 1900s showing 233 Bullocks Point Avenue. Courtesy of the East Providence Planning Dept.
Figure 5. 1920-21 Sanborn Fire Insurance Map showing footprint of 233 Bullocks Point Avenue. "Sanborn Fire Insurance Maps". East Providence. Providence County. Rhode Island. 1920-21. New York. Sandborn Map Company.1921.
Figure 6. 1950-51 Sanborn Fire Insurance Map showing footprint of 233 Bullocks Point Avenue and additions. “Sanborn Fire Insurance Maps". East Providence. Providence County. Rhode Island. 1950-51. New York. Sanborn Map Company.1921.
Rhode Island Historical Preservation & Heritage Commission HISTORIC PROPERTY DATA FORM
TOWN VILLAGE
ADDRESS PLAT/LOT
NAME(s)
Bullocks Point Ave Silva, Joseph, Rosalie, Small Business
PROPERTY TYPE Bld Str Obj Site OWNERSHIP Priv Loc St Fed
STATUS NHL NR DOE CDOE Elig Indiv Dist C NC NR DISTRICT
USES: Select terms from National Register table CURRENT HISTORIC
SITING:
STORIES
MATERIALS:
reverse for comments, history, and bibli
Notes for alterations from observations:
• By looking at the building, it seems to have no additions added to the building
• The detail work in the building’s facade seems to show older ornamentation and detail
• There are a few variations of size windows- not symmetrical
• The 1/1 double hung windows have small panels above them that might of been filled in with a panel when the vinyl windows were installed and made the window opening smaller than original
• Looking at older historic photographs, the window configurations look to be the same as seen today as of 2021
Context Narrative
The Dari-Bee is a local ice cream shop located in Riverside, a neighborhood in the city of East Providence, Rhode Island. The one-story Googie-style building was constructed in 1960, by Russell Gardner, a Riverside resident.1 It is located on aparcel along the main road in the neighborhood, Bullocks Point Avenue. The surrounding area is known as Riverside Square, a section of commercial activity surrounded by residential dwellings.
Historical Narrative
The Dari-Bee is located just north of the Riverside Square, a commercial district that developed in the late nineteenth and early twentieth centuries. The opening of the Providence, Warren, and Bristol Railroad in 1855, a train stop was in Riverside.2 At the arrivalof the Providence, Warren, and Bristol Railroad and the development of multiple amusement parks in the southern portion of the area, sparked growth in this neighborhood.3 This growth was centered around theProvidence, Warren, and Bristol Railroad depot, which is just south of Dari-Bee on Bullocks Point Avenue. The area surrounding the depot became a bustling commercial area. One of the main summer attractions was Crescent Park, an amusement park that opened in 1886. The park was opened by Geroge B. Boyden and it attracted many tourists and families to the area. This increased development and commercial demand for Riverside.4 Over time, Riverside grew into a resort area, filled with summer cottages. In the late 1890s, Riverside had one the largest population spikes during the summer months.5 During the 1920s and 30s, there was a decline in Riverside due to The Depression, and the 1938 Hurricane that wiped out many buildings.6 After World War II, economic prosperity contributed to a nationwide surge in suburban house construction. East Providence became a prime area for this development. The neighborhood of Riverside began to shift into year-round residences and many of the amusement parks began to close. The community began to move from a summer community to a year-round suburban population. Between 1945 to 1970 were East Providence’s greatest years of growth, this growth contributed to many local businesses being built in Riverside.7 The abundance of residential propertybuilt during these years demanded Riverside’s commercial businesses to grow as well. World War II initially slowed down the production and consumption of ice cream. Around 1941, the U.S. government classified ice cream as a non-esstneial food, creating a decrease in the product nationally.8 Finally, after World War II, the national obsession with ice cream continued.9 Throughout the 1940s tillthe 1970s, ice cream production and businesses were constant in the U.S. As prepackaged ice cream was sold in the supermarkets, these small businesses began to disappear.10
1 King, D. M. (n.d.). Dari-Bee is a Riverside Tradition. East Providence. Year: 1940; Census Place: East Providence, Providence, Rhode Island; Roll: m-t0627-03765; Page: 4A; Enumeration District: 4-121.
2 East Bay Bike Path History. TrailLink. (n.d.). Retrievedfrom https://www.traillink.com/trail-history/east-bay-bike-path/.
3 “Crescent Park | Artinruins,” September 11, 2020. https://artinruins.com/property/crescent-park/.
4 Longstreth, Rhode Island Historical Preservation, 38.
5 Rhode Island Historical Preservation Commission, and Richard W Longstreth. East Providence, Rhode Island. Statewide Preservation Report, P-Ep-1. Providence: Commission, 1976, 38.
6 Rhode Island Historical Preservation Commission, and Richard W Longstreth, 1976.
7 Rhode Island Historical Preservation Commission, and Richard W Longstreth, 1976.
8 GEI Consultants, Inc. and Mead & Hunt. 2017. MidCentury Modern in the City of Sacramento Historic Context Statement and Survey Results. Prepared for City of Sacramento.
9 Hengranes, Emily. “World War II and America’s Sweet Tooth.” Naval History Blog, July 25, 2019. https://www.navalhistory.org/2019/07/25/we-all-scream-for-ice-cream-world-war-ii-and-americas-sweet-tooth
10 “The History of Ice Cream.” IDFA, July 12, 2021.https://www.idfa.org/the-history-of-ice-cream.
During the economic boom in the late 1950s and the national ice cream crave, a resident of Riverside, William R. Hevey loaned money to his son-in-law, John A. Tait. The money was loaned to John Tait so he could build an ice cream shop north of the Providence, Warren, and Bristol Railroad Depot, located on 250 Bullocks Point Avenue. In 1960 the 1-story concrete building was constructed by Russel Gardner, who was a resident and in building construction.11 John Tait and his wife, Carolyn Tait opened the “Dari-Bee'' in 1960.12 The Tait family also owned theBeehive gift shop that was directly next door from the ice cream shop (see Figure 1). However, the gift shop closed around 1970.13 Although Riverside has been in a state of a slow decline and its population decreasing, due to surrounding towns and highways being built past Riverside. The Dari-Bee has remained open since 1960 and has been a place for the local neighborhood.
Statement of Significance
240 Bullocks Point Avenue appears to be eligible for listing in the National Register of Historic Places under Criterion A for its association with the growth and development of Riverside’s population increase from post-World War II in the economic expansion.14 After World War II, economic prosperity contributed to a nationwide surge in suburban house construction. East Providence became a prime area for this development. The neighborhood of Riverside began to shift from a tourist destination into year-round residence. Between 1945 to 1970 were East Providence’s greatest years of growth, this growth contributed to many local businesses being built in Riverside.15 As the population increased in Riverside, along the main road, an area of commercial activity began to grow and is considered “Riverside Square”. Post World War II, ice cream was very popular around the nation, as America celebrated its victory with ice cream.16 Smaller ice cream businesses began tobe built nationally during these popular years.17 Inthe 1960s, the Dari-Bee ice cream shop opened on Bullocks Point Avenue which is close to the commercial Riverside Square. Dari-Bee quickly became a neighborhood attraction. This growth transformed the locally built environment into a larger suburban area and commercial activity for Riverside. Dari-Bee was part of the development and growth of the neighborhood.
240 Bullocks Point Avenue appears not to be eligible for listing in the National Register under Criterion B.This is due to the lack of persons who could be considered “significant in our past”. The original owners of the building were part of the Tait family, a local family in the neighborhood. The Tait family also owned and operated another business next to 240 Bullocks Point Avenue, although that business and building no longer exist. The business was called “Beehive Gift Shop”. The current owners of the Dari-Bee are the Silva family, who bought the property around the year 2000. The Silva family is another
11 Year: 1940; Census Place: East Providence, Providence, Rhode Island; Roll: m-t0627-03765; Page: 4A; Enumeration District: 4-121
12 King, Dale M. “Dari-Bee is a Riverside Tradition.” East Providence Newspaper, n.d.
13 King, Dari-Bee is a Riverside Tradition.
14 Rhode Island Historical Preservation Commission, and Richard W Longstreth. East Providence, Rhode Island. Statewide Preservation Report, P-Ep-1. Providence: Commission, 1976.
15 Rhode Island Historical Preservation Commission, Robert O. Jones Jr., Providence, Rhode Island, 1980.
16 GEI Consultants, Inc. and Mead & Hunt. 2017. MidCentury Modern in the City of Sacramento Historic Context Statement and Survey Results. Prepared for City of Sacramento.
17 GEI Consultants, MidCentury Modern in the City of Sacramento Historic Context Statement and Survey Results.
local family who lives in the neighborhood. Although the current owners of the building have been in the neighborhood for quite some years, they are not considered historically significant.
240 Bullocks Point Avenue appears to be eligible for listing in the National Register of Historic Places under Criterion C in the area of Architecture as a representative of an increasingly rare surviving expression of Modern architecture. This building can be considered to be Googie-style, popular during the 1950s and late 1960s.18 The Googie style became popular mainly during post-World War II, the futuristic style was a reference to the beginning of a new era.19 Americans embraced this modern design with new products and technologies and thinking of the future Air and space technology and television were among the new technologies in postwar restaurant architecture. Around the 1960s ended the Googie era, and buildings of this style have been demolished, this makes the surviving buildings with integrity more significant. The Googie style is a representation of American history that led to a new design of buildings, inspired by television, and our different technology accomplishments.
The building retains its historic physical integrity on its exterior. One of the important features of this building is the roof sloping at an upward angle This is one particular element in which the architects were creating a unique structure. The sloping roof is one of the important features of the Googie-style. The sloping roof often reflected new engineering techniques, a common feature of Googie-style.20 The other common feature was signage, and being large to grab attention to the building. The signage on Dari-Bee is on the roof, the other key feature. By reviewing historic photographs it may be very well the same signage from the original construction of the building (see Figure 2). The architect and construction of the building were done by Russell Gardner. Gardner grew up in Riverside and worked in building construction. His father, George H. Gardner was a house building contractor according to the 1930 Federal Census. Although the Gardner’s were local builders of the neighborhood, they are not considered historically significant.21
240 Bullocks Point Avenue appears not to be eligible for listing in the National Register of Historic Places under Criterion D
18 Novak, Matt. “Googie: Architecture of the Space Age.” Smithsonian.com. Smithsonian Institution, June 15, 2012. https://www.smithsonianmag.com/history/googie-architecture-of-the-space-age-122837470/.
19 Novak, “Googie: Architecture of the Space Age.”
20 Budds, Diana. “The Ultimate Guide to Googie.” Curbed,July 25, 2019. https://archive.curbed.com/2019/7/24/18647602/the-ultimate-guide-to-googie#coda.
22 “Jones Pond and Other Archaeological Sites Reveal Early History of Settlement in Sowams.” Sowams Heritage Area, December 22, 2018. http://sowamsheritagearea.org/wp/jones-pond-and-other-archaeological-sites-in-sowams-reveal-early-history/. 211930; Census Place: East Providence, Providence, RhodeIsland; Page: 19B; Enumeration District: 0219; FHL microfilm: 2341906.
240 Bullocks Point Avenue holds excellent evidence of integrity. The location and the setting of the building are very important to the past since it is very close to Riverside Square. It holds a close relationship to the former depot building, which could be considered the center of the square. The building has not moved from its original site. The design of the building is a rare surviving example of a small-scale Googie-style building in the surrounding towns. This style is not particularly known in this area, since it is mainly known to be on the west coast of the United States. The form of the building has been consistent and shows no signs of additions. The materiality of the building is simple concrete blocks and wood ornamentation on the front facade. The windows have been replaced with vinyl windows. The workmanship of the front facade is in great detail for the simplicity of the building. It is also important to note that the sloping roof at the time of construction could be considered a small-scale engineering accomplishment. The feeling of the building shows its historical character and still serves ice cream just as it did in 1960. The building does not have any association with a significant person. It does have an association with the growth and development of Riverside post-WWII. The quick expansions from a small neighborhood to a metropolitan area.
Bibliography and/or References
East Bay Bike Path History. TrailLink. (n.d.). Retrieved from https://www.traillink.com/trail-history/east-bay-bike-path/.
King, Dale M. “Dari-Bee is a Riverside Tradition.” East Providence Newspaper, n.d.
Rhode Island Historical Preservation Commission, and Richard W Longstreth. East Providence, Rhode Island. Statewide Preservation Report, P-Ep-1. Providence: Commission, 1976, 38.
Year: 1940; Census Place: East Providence, Providence, Rhode Island; Roll: m-t0627-03765; Page: 4A; Enumeration District: 4-121
1930; Census Place: East Providence, Providence, Rhode Island; Page: 19B; Enumeration District: 0219; FHL microfilm: 2341906.
Budds, Diana. “The Ultimate Guide to Googie.” Curbed, July 25, 2019. https://archive.curbed.com/2019/7/24/18647602/the-ultimate-guide-to-googie#coda.
Budds, Diana. “The Ultimate Guide to Googie.” Curbed, July 25, 2019. https://archive.curbed.com/2019/7/24/18647602/the-ultimate-guide-to-googie#coda.
GEI Consultants, Inc. and Mead & Hunt. 2017. MidCentury Modern in the City of Sacramento Historic Context Statement and Survey Results. Prepared for the City of Sacramento.
Hegranes, Emily. “World War II and America's Sweet Tooth.” Naval History Blog, July 25, 2019. https://www.navalhistory.org/2019/07/25/we-all-scream-for-ice-cream-world-war-ii-and-americas-s weet-tooth.
“The History of Ice Cream.” IDFA, July 12, 2021. https://www.idfa.org/the-history-of-ice-cream.
“Jones Pond and Other Archaeological Sites Reveal Early History of Settlement in Sowams.” Sowams Heritage Area, December 22, 2018. http://sowamsheritagearea.org/wp/jones-pond-and-other-archaeological-sites-in-sowams-reveal-earl y-history/.
King, D. M. (n.d.). Dari-Bee is a Riverside Tradition. East Providence. Year: 1940; Census Place: East Providence, Providence, Rhode Island; Roll: m-t0627-03765; Page: 4A; Enumeration District: 4-121.
Novak, Matt. “Googie: Architecture of the Space Age.” Smithsonian.com. Smithsonian Institution, June 15, 2012. https://www.smithsonianmag.com/history/googie-architecture-of-the-space-age-122837470/.
Robert O. Jones Jr., Rhode Island Historical Preservation Commission, 1980. Providence, Rhode Island, 6.
240 Bullocks Point Avenue, front (west elevation)
Side (north) elevation, facing south
Side (south) elevation, facing north
Map of 1921
Source: Sanborn Fire Insurance Map from Providence, Providence County, Rhode Island. Sanborn Map Company, to 1921Vol.6, 1921. Map. https://www.loc.gov/item/sanborn08099_012/.
Map of 1951
Rhode Island Historical Preservation & Heritage Commission HISTORIC PROPERTY DATA FORM
TOWN East Providence VILLAGE Riverside
ADDRESS 241 Bullocks Point Ave
NAME(s) Callegaro News
PLAT/LOT 312/07/008
PROPERTY TYPE Bld OWNERSHIP Priv
STATUS NHL NR DOE CDOE Elig Indiv Dist C NC NR DISTRICT
USES: Select terms from National Register table
CURRENT Commerce/Trade: Business HISTORIC Commerce/Trade: Business
SITING: SETBACK 5
STORIES 1 ROOF(s) Side Gable
MATERIALS: Select terms from National Register table
ROOF Asphalt WALL Synthetics/Vinyl
FOUNDATION Concrete OTHER
WINDOWS (1) Two light, fixed sash ALTERATIONS:
SURVEYOR Brianna Jordan
HISTORIC NARRATIVE AND CONTEXT
The first half of the nineteenth century designated Riverside as a destination for wealthy travelers who sought relaxation away from city life.1 By the latter half of the nineteenth century Riverside developed into a busy resort area populated mostly with small summer vacation cottages and luxury resort and hotels.2 By the late 1890s Riverside is said to have had the largest concentration of summer residences on Narragansett Bay.3 There were a multitude of amusement parks, like Crescent Park and Boyden Heights.4 The middle class’s expansion into Riverside was aided with by the establishment of the Providence and Bristol Company Railroad constructed in the mid-1850s.5 The railroad aided the ease of access in and out of Riverside. By the turn of the twentieth century Riverside began to transition into a year-round suburban neighborhood, with both construction of new houses and changing the summer cottages to permanent use.6 Riverside’s new commercial, civic, and institutional activity centered around the Riverside Square and the Riverside Passenger depot.7 Historically, Riverside square was a dense commercial sector that built up to accommodate the needs of vacationers and then eventually, suburban residents. Small, free -standing businesses like groceries, barbershops, auto shops, leisure sites and bakeries were present at the beginning and middle of the twentieth century catering to the needs of the expanding neighborhood populace.8
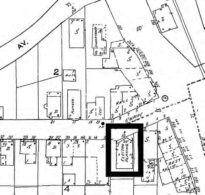
RIVERSIDE SQUARE BUSINESS IN 244 BULLOCKS POINT AVENUE
241 Bullocks Point Avenue has operated as a business space since its inception, circa 1943.9 The building’s address changed a few times over the decades as well as its assumed configuration.10. This seemingly suggested that the building was once was a space for two tenants. The address eventually changed back to 241 Bullocks Point Avenue, hosting only one tenant.
241 Bullocks Point Avenue has served a variety of businesses. The most prominent was Augusts Miner’s barber shop, where he would eventually employ his oldest son Augustus William Miner.11 241 was also the site of the Riverside Hardware store which was located at 243 Bullocks Point Avenue in 1943.12 Louis “Red” Callegaro relocated to Riverside about 1953 and acquired Augustus Miner’s Riverside Hardware Store building in 1955 where he opened his own popular corner news and magazine Store.13 Callegaro News and Magazines which was affectionally known as “Red’s” sold most of the magazines, comic books and penny candy in Riverside during the 1950’s and 1960’s (Figure 1).14
During the post-World War II boom, much like the rest of the United States, Riverside saw an explosion in population and prosperity. Within a twenty-five year period East Providence saw its greatest era of growth.15 Both population and economic expansion allowed for Riverside Square to flourish and self-sustain in the way of local services. However, the construction of Interstate 195 in 1960 increasingly made the core commercial area of historic Riverside Square unfavorable with more attractive shopping options in Seekonk in
1 Richard Longstreth, East Providence, Rhode Island Statewide Preservation Report (Providence: Rhode Island Historical Preservation Commission, 1976), 34
2 Longstreth, East Providence Preservation report, 34-36.
3 Longstreth, East Providence Preservation report, 38.
4 Longstreth, East Providence Preservation report, 39-40.
5 Bruce Remick, Rhode Island: Living in Riverside first 80 years, 1870 to 1950 (Rhode Island: n.p., 2021), 50
6 Longstreth, East Providence Preservation report, 38.
7 Ibid.
8 See Sanborn Map Company, "Sanborn Fire Insurance Maps", East Providence, Providence County, Rhode Island, 1920, New York: Sanborn Map Company, 1921. https://digitalsanbornmaps-proquestcom.rwulib.idm.oclc.org/browse_maps/40/8075/39395/41291/561517?accountid=25133
9 East Providence, R.I , City Directory, (R.L. Polk and Co., 1943).
10 The building number changed from 241 and 243 to 281 & 283
11 1940 United States Census, East Providence, Providence County, Rhode Island, digital image s.v. "Augustus Miner," Ancestry.com
12 East Providence, R.I , City Directory, (R.L. Polk and Co., 1943).
13 Remick, Living in Riverside, 51.
14 Remick, Living in Riverside, 51.
15 Longstreth, East Providence Preservation report, 48.
the later part of the century.16 Callegaro News is last listed in 1975, seemingly a victim of this economic change.17
16 Longstreth, East Providence Preservation report, 50.
17 East Providence, R.I., City Directory, (R.L. Polk and Co., 1975).
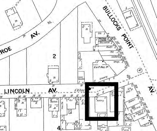
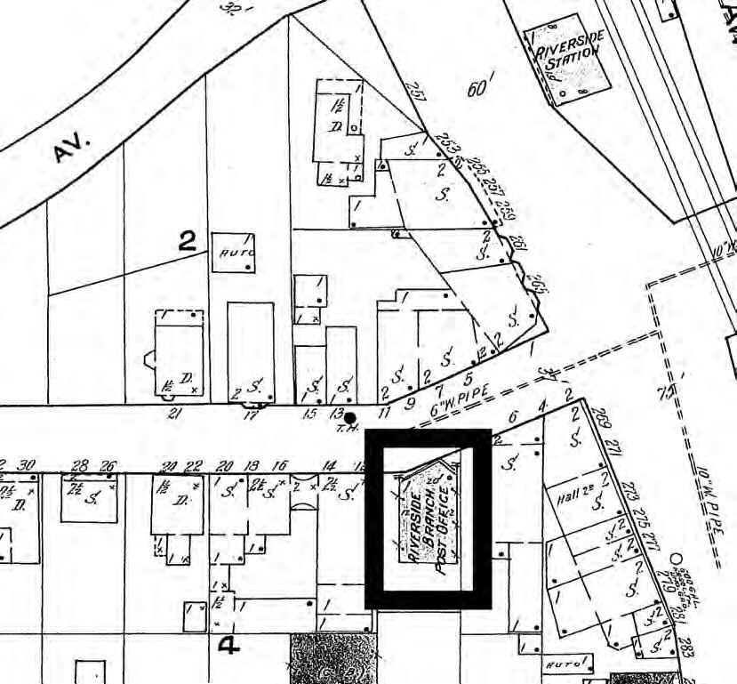
Figure 1. 1920/1950 Overlay Sanborn Fire Insurance Map showing 241 Bullocks Point Avenue.
Figure 2. Bullocks Point Avenue Looking South, 241 Bullocks Point Avenue is on the right.
Figure 3. Bullocks Point Avenue looking West, 241 Bullocks Point Avenue is shown.
Figure 4. Callegro’s News.
Criteria Evaluation
Criterion A
244 Bullocks Point Avenue appears to be eligible for listing in the National Register of Historic Places under Criterion A for its association with the development of the Riverside Square commercial district. The structure has been used commercially since the 1930’s. 241 Bullocks Point Avenue has hosted a variety of businesses most notably Callegaro News which was a neighborhood luminary to the children that lived around the square. Noted for the penny candy it once supplied, 244 Bullocks Point Avenue is an example of the once burgeoning commercial district inside Riverside Square and its growth in population and commerce.
Criterion B
244 Bullocks Point Avenue does not appear to be eligible for listing in the Rhode Island Register under Criterion B as having an association with individuals who may have contributed to local or national history. The property is associated with Augustus Miner who had a large commercial spread in Riverside Square. While this is noteworthy and interesting to the possible ramifications to the overall commercial development of Riverside Square, his property ownership does not rise to the level of specific contributions to the local past. Moreover, the property has been associated with individuals throughout its commercial life there is no one individual with achievement arising to the level of significant that 244 Bullocks Point Avenue can illuminate.
Criterion C
241 Bullocks Point Avenue does not appear to be eligible for listing in the Rhode Island Register under Criterion C has having any association with a (1) distinctive characteristic of a type, period, or method of construction, or (2) the work of a master, or (3) possess high artistic value. 241 Bullocks Point Avenue is an unadorned one-part commercial block structure that sits on the beginning of Riverside Square. 241 Bullocks Point Avenue is not indicative of a distinctive character with no integration of a type of design, a period of design or a method of construction. There was no indication within the historic research done on the structure that points to a particularly significant builder or architect that designed or built the structure. Finally, 241 does not possess a high artistic value in its character features nor its design.
Figure 5. Current Photo of 241 Bullocks Point Avenue.
Criterion D
Criterion D, which is linked to important information potential that must have had information to contribute to the understanding of human history or pre-history does not apply to 241 Bullocks Point Avenue.
Aspects of Integrity
241 Bullocks Point Avenue has retained integrity of location, design, workmanship and, setting. The commercial structure shows no indication of change in its location. The design of the structure has remained relatively the same. Although it is used as one commercial space, this was not always the case. 241 Bullocks Point Avenue in its history has been used to contain two commercial businesses. This is also indicated by the building’s layout with two entrances. This has changed over time but has not negatively affected the structures integrity as an original commercial space. 241 Bullocks Point Avenue appears to have kept some workmanship integrity as the unique corner entrances are indicative of commercial use with the main entrance directly on the sidewalk and the bulk of the buildings display siding facing parallel to the once running railroad. Finally, the setting of 241 Bullocks Point Avenue has remained the same throughout the structure’s existence within Riverside Square. Again, regrettably, the material integrity of the structure is not intact as there is no historic fabric visible. The material alterations have effect 241 Bullocks Point Avenue’s integrity of feeling and association.
It is the opinion of this statement that although 241 Bullocks Point Avenue is situated on Riverside Square and are likely to be significant within Criterion A, 241 Bullocks Point Avenue has lost its historic integrity. Due to a lack of integrity, the building cannot display its significance within its respective historic context and therefore are unlikely eligible for the National Register. Finally, it should be noted that if there was restoration of 241 Bullocks Point Avenue with the original intended material this would likely rehabilitate its integrity.
BIBLIOGRAPHY
East Providence, R.I., City Directory. (R.L. Polk and Co. 1921).
Remick, Bruce Rhode Island: Living in Riverside first 80 years, 1870 to 1950. (Rhode Island: n.p., 2021).
Richard Longstreth. East Providence, Rhode Island Statewide Preservation Report. (Providence: Rhode Island Historical Preservation Commission, 1976).
Sanborn Map Company. "Sanborn Fire Insurance Maps". East Providence, Providence County, Rhode Island. New York: Sanborn Map Company. 1921.
1940 United States Census, East Providence, Providence County, Rhode Island, digital image s.v. "Augustus Miner," Ancestry.com.
Figures
Figure 1. 1920/1950 Overlay Sanborn Fire Insurance Map showing 241 Bullocks Point Avenue. "Sanborn Fire Insurance Maps". East Providence. Providence County. Rhode Island. 1920/1950. New York. Sanborn Map Company.1921.
Figure 2. Bullocks Point Avenue Looking South, 241 Bullocks Point Avenue is on the right. Picture is courtesy of the East Providence Planning Department.
Figure 3. Bullocks Point Avenue looking West, 241 Bullocks Point Avenue is shown. Picture is courtesy of the East Providence Planning Department.
Figure 4. Callegro’s News. Remick, Bruce. Rhode Island: Living in Riverside first 80 years, 1870 to 1950. (Rhode Island: n.p., 2021).50.
Figure 5. Current Photo of 241 Bullocks Point Avenue. Photography by author.
Rhode Island Historical Preservation & Heritage Commission HISTORIC PROPERTY DATA FORM
TOWN East Providence VILLAGE Riverside
ADDRESS 250 Bullocks Pt. Ave.
PLAT/LOT 312/09/002
NAME(s) Riverside Station/ Riverside Depot/ Borealis Coffee
PROPERTY TYPE Bld√ Str Obj Site
STATUS NHL NR DOE CDOE Elig Indiv Dist C NC NR DISTRICT
USES: Select terms from National Register table
CURRENT commerce/restaurant HISTORIC Transportation/railrelated
SITING: SETBACK 0 ft LOT SIZE 4356 sq ft
STORIES 1 ROOF(s) Gable on hip
MATERIALS: Select terms from National Register table ROOF stone/ slate WALL brick
FOUNDATION Not visible OTHER
INTEGRITY Excellent Good √ Fair Poor Destroyed PROPERTY COMPONENTS:
Original Construction Ca. 1860 Longstreth South extension Ca. 1965 Longstreth Chimney addition Ca. 1920 Sanborn map Window replacement Unknown
ARCHITECTURE: If more than one, list & number in order of importance TYPE STYLE(s) Other
SURVEYOR Xuanzi Li DATE 12/2021 REVIEWER
Use
DATE
Architectural Description
250 Bullocks Pt. Ave is a one-story, gable-on-hip roofed building, built with brick. The roof is covered with slate shingles. The southwest elevation contains a two-panel door, with three rectangular glass panels on the top. There are two ribbon casement windows on each side of the door on southwest elevation, with metal trims. The upside of the southwest elevation has a ribbon of ornament. The southeast has the main entrance. The door is double door, with two bottom panels and three rectangular glass panels on the middle and the top. Above the double door, there is a transom light consists of four glass panes. There two two-over-two double-hung windows on each side of the double door, with wood trims and wood sashes. The northeast elevation has one panel door at east, with three middle and bottom panels and three rectangular glass panels on the top. In the middle of the northwest elevation, there is a door that has been blocked up with wood panel. There are two one-by-one fixed windows on each side of the blocked door, with wood trim and sashes. The lower two panes have been blocked up with wood panel. There is a brick chimney on the north corner of the property. On the northwest elevation, the west corner has a cutoff. There is one glass door on the northwest elevation, facing to the northwest. The other door on the northwest elevation is a four-panel door, facing to the west. Between the two doors, there is a window has been blocked off with wood panel, and a small ventilation on the top corner. The foundation of the building is invisible.
Historic Narrative
The United States has a great railroad network which has played an important role in the economic and social development of the United States. New York, New Haven and Hartford Railroads Co. was a The United States has a great railroad network which has played an important role in the economic and social development of the United States. In the 1840s, the whaling and shipbuilding industries in Warren and Bristol spurred development of a line from Providence to Warren and Bristol, which passed through East Providence.1 In 1855, the Boston and Providence Railroad constructed a line through Providence, Warren, and Bristol, which was responsible for passenger and cargo transportation.2 In 1893, the line operator became the New York, New Haven and Hartford Railroad Company. The Riverside Depot was built in the 1860s to serve this line.
In the late 1920s, with the promotion of private vehicles, the national railway system began to gradually be replaced by cars and highways. All passenger trains services ended in Riverside in 1937.3 In 1950, the New York New Haven and Hartford Railroad Co. sold the former Riverside Station to Eddie M Callegaro and Helen R Callegaro, husband and wife. They ran Eddie's Food Mart in the property until 1959. From the mid-1960s to the early 1980s, the building contained a coin laundry. In the 1980s, the depot contained a deli. The building is now owned by Coffee Pathway LLC, operating as Borealis Coffee.
Evaluation of Significance
Criterion A:
Area of Significance: o Commerce
1 Heppner, Railroads of Rhode Island. p.101
2 Heppner, Railroads of Rhode Island. p.101
3 Karr, Ronald Dale. The Rail Lines of Southern New England : A Handbook of Railroad History. p.144
o Community Planning and Development
o Social History
o Transportation
Period of Significance
o 1855- 1938
250 Bullocks Point Ave is locally significant under Criterion A for its association with the community development and commerce in Riverside, East Providence. 250 Bullocks Point Ave. served as a railroad depot from 1855 to 1937. Located in the center of Riverside Square, the formerly depot was the anchor for the local business district and seasonal and permanent residential development. It is not only the only remaining building associated with this period and context, but also the first step in urban development in Riverside.
Integrity
o Location
o Design
o Setting
o Materials
o Workmanships
250 Bullocks Point Ave has sufficient integrity to convey its significance. It is in the same location where it was constructed. The design of the property has also remained generally consistent over time. The depot has lost some integrity of setting with the removal of the adjacent rail lines, but the East Bay Bike Path on the former railbed allows for some continuity of setting. The depot has sufficient integrity of materials and workmanship, though some integrity has been lost on the west elevation. 250 Bullocks Point Ave. has lost some integrity of feeling and association with conversion to commercial use.
Sources
Heppner, Frank. Railroads of Rhode Island: Shaping the Ocean State’s Railways. Charleston: The History Press, 2012
Rhode Island Historical Preservation Commission, and Richard W Longstreth. East Providence, Rhode Island. Statewide Preservation Report, P-Ep-1. Providence: Commission, 1976.
Karr, Ronald Dale. The Rail Lines of Southern New England : A Handbook of Railroad History. New England Rail Heritage Series. Pepperell, Mass.: Branch Line Press, 1995.
Rhode Island Development Council, and Tippetts-Abbett-McCarthy-Stratton. Port of Providence: An Economic Survey. Providence, 1955.
Remick, Bruce. Rhode Island: Living in Riverside, First 80 Years, 1870 to 1950. Self-published, 2020 Sanborn Maps Co. Insurance Maps of Providence, Rhode Island 1920-Mar. 1951. Sanborn Maps Co. Insurance Maps of Providence, Rhode Island 1921.
Figure 1: Remick, Bruce. Rhode Island: Living in Riverside, First 80 Years, 1870 to 1950. p.53
2:
Co., Insurance Maps of Providence, Rhode Island 1921, vol.6 , 1921
Figure
Sanborn Maps
3: Sanborn Maps Co, Insurance Maps of Providence, Rhode Island 1920-Mar. 1951 vl.6, 1921-June 1950, vol.6, 1921
Figure
Rhode Island Historical Preservation & Heritage Commission HISTORIC PROPERTY DATA FORM
TOWN East Providence VILLAGE Riverside
ADDRESS 255 Bullocks Point Ave PLAT/LOT 312/08/005
NAME(s) Jerry & Son
PROPERTY TYPE Bld Str Obj Site OWNERSHIP Priv Loc St Fed
STATUS NHL NR DOE CDOE Elig Indiv Dist C NC NR DISTRICT
USES: Select terms from National Register table
CURRENT Business HISTORIC Business
SITING: SETBACK 48
STORIES 1 ROOF(s) Flat
MATERIALS: Select terms from National Register table ROOF Asphalt WALL Brick
FOUNDATION Concrete OTHER
WINDOWS Undivided fixed wood sash
ALTERATIONS:
DATABASE ID#
INTEGRITY Excellent X Good Fair Poor Destroyed
PROPERTY COMPONENTS:
Light stands
Gas pumps
Original Construction Ca. 1963 1963 EP Directory
ARCHITECTURE: If more than one, list & number in order of importance TYPE STYLE(s) None
SURVEYOR Kayla Hansen DATE 9/2021 REVIEWER DATE Use reverse for comments, history, and bibliography Form version 200702rev161101
Historical Narrative:
The building that currently houses Jerry and Son, or Jerry’s Chevron, at 255 Bullocks Point Ave. was constructed in 1963 (East Providence Directory, 1963). The use of the building as a gas station has not changed over the years. When the gas station opened in 1963 it was called Steve & Rocco's Gulf. Around 1976 the business changed ownership and became Jerry’s Amoco. Around 1993 the business changed its name to Jerry’s Chevron. Although the site still appears to be a gas station the pumps are not functioning, and its use aligns more with a sales lot for used cars and other equipment.
Evaluation of Signicance:
Jerry and Son does not have significance under Criterion A as it does not have any association with events considered important in the history of Riverside or East Providence. This filling station was not the earliest, nor was it the only station local residents had access to. Today the old station functions as an office space.
Jerry and Son does not have significance under Criterion B as it has no association with individuals whose specific contributions to history can be identified and documented.
The property also does not have significance under Criterion C as the building does not embody distinctive characteristics of a type, period, or method of construction nor does it represent the work of a master or possess high artistic value.
Lastly Jerry’s and Son does not have significance under criterion D as the site and building itself do not have any potential to contribute to a better understanding of the history of Riverside.
Jerry and Son retains integrity of location because the building has remained at this location since its built date. The property retains integrity of design due to the preservation of the original gas pumps, light stands, and garage doors all which remain in their original locations and clearly illustrate the original function of the property as a gas station. These elements reflect the historic function and technologies of the property. The property retains integrity of setting because the character of surrounding area has stayed the same. The property does express integrity in terms of materials because the exterior brick has only had minor chances such as the removal of the white paint that used to cover the bricks. The property retains the key materials dating from the time it was built which is confirmed by pictures. The property’s integrity is expressed in terms of workmanship as its physical characteristics and construction resemble its built date in 1963. The property retains integrity of feeling because it is able to express the aesthetic and historical sense of the 1960s due to the lack of major modifications made to the property. Lastly the property retains some integrity of association because it remains related to automotive uses.
Sources:
East Providence Directory. 1998.East
Providence Directory. 1963.
Remick, Bruce. Rhode Island: Living in Riverside, First 80 Years 1870‐1950. Self‐published,2020.
“Riverside Congregational UCC ‐ East Providence, RI: United Church of Christ Church near Me.” Churches near me. Accessed November 30, 2021. https://www.joinmychurch.com/churches/Riverside ‐Congregational‐UCC‐East‐Providence‐ Rhode‐Island‐United‐States/327654.
Image from 1984 facing southeast showing Bullocks Point Ave. Jerry and Son can be observed outlined in red. Collection of the East Providence Planning Department.
Rhode Island Historical Preservation & Heritage Commission HISTORIC PROPERTY DATA FORM
TOWN East Providence VILLAGE Riverside
ADDRESS 257 Bullocks Point Ave PLAT/LOT 312/08/004
NAME(s) Bullocks Point Laundromat
PROPERTY TYPE Bld Str Obj Site OWNERSHIP Priv Loc St Fed
STATUS NHL NR DOE CDOE Elig Indiv Dist C NC
NR DISTRICT Photo ID EAPR BullocksPointAve257 NW
USES: Select terms from National Register table CURRENT Business HISTORIC
SITING: SETBACK 3 ft
STORIES 1 ROOF(s) Flat
MATERIALS: Select terms from National Register table ROOF Rubber WALL Concrete block, stucco
FOUNDATION Concrete OTHER Photo ID
WINDOWS Fixed aluminum
ALTERATIONS: PORCH
INTEGRITY X Excellent Good Fair Poor Destroyed
PROPERTY COMPONENTS:
ARCHITECTURE: If more than one, list & number in order of importance
TYPE One-part commercial STYLE(s) None
SURVEYOR Kayla Hansen
DATE 9/2021 REVIEWER DATE Use reverse for comments, history, and bibliography Form version 200702rev161101 DATABASE ID#
Context:
The Bullocks Point Laundromat was built in 1998 and has been a laundromat since that time. The attributed built date in East Providence building records of 1960 is incorrect.
The Bullocks Point Laundromat does not have a long history, however the site itself has an extensive history. The site is an anchor in Riverside Square, the historic business district of Riverside. In the 1870s and 1880s, the area was known as Lewis’ Station, Railroad Square, and finally Riverside Square (Remick 2020, 47). The square was composed of various commercial blocks built in the 1880s and named after local business owners. Beginning in 1882, this site contained a pharmacy owned by Luce and Duffy. In 1886 the building block was called Grube’s Block (Figure 1). From 1889 to 1904, Amasa Eugene Remington, a pharmacist, ran the corner pharmacy. The building was briefly renamed Meehan’s Block while the building was occupied by Meehan Liquors. From 1904 until 1944, James Goodall Johnson, a Pawtucket pharmacist, owned and operated the pharmacy. At this time the building was called Johnson’s Block. In 1940 King Drug Co. took over, retaining James Goodall Johnson as pharmacist (Figure 2). Beginning in the early 1970s and through the end of the 1980s, Quick Stop Deli occupied the building.
The building and site were reconfigured and rebuilt in the early twentieth century because of the 1906 ordinance to widen Bullocks Point Avenue, probably to allow for streetcar service. In 1993, the original building was demolished (Figure 3); the current building was constructed in 1998 (East Providence Directory, 1998).
Evaluation of Signicance:
The Bullocks Point Laundromat does not meet the 50‐year age requirement for eligibility for the National Register of Historic places and does not meet the requirements of Criteria Consideration G for properties less than 50 years old. The property is not exceptionally significant.
Sources:
East Providence Directory 1998. East Providence Directory. 1963.
Remick, Bruce. Rhode Island: Living in Riverside, First 80 Years 1870‐1950. Self‐published, 2020.
Figure 1. Remick, The heart of Riverside Square in winter, 47. Image from 1886 of Riverside Square showing the major commercial buildings. Grube’s Block can be seen towards the right side of the frame. Grube’s Block is the present‐day site of the Bullocks Point Laundromat.
Figure 2. Remick, King’s corner drugstore in the center of Riverside Square circa 1940’s, 50 Image from the 1940’s showing Riverside Square with the focal point being King’s corner drugstore,present day site of Bullocks Point Laundromat.
Figure 4. Sanborn map of Riverside in East Providence Rhode Island from 1956 showing the corner of Bullock’s Point Avenue and Lincoln Avenue. Source: Digital Sanborn Maps of Rhode Island, 1956
Rhode Island Historical Preservation & Heritage Commission HISTORIC PROPERTY DATA FORM
TOWN East Providence VILLAGE Riverside
ADDRESS 273-279 Bullocks Point Ave PLAT/LOT 312/13/001
NAME(s) Winchester Block
PROPERTY TYPE Bld Str Obj Site OWNERSHIP Priv Loc St Fed
STATUS NHL NR DOE CDOE Elig Indiv Dist C NC
DATABASE ID#
NR DISTRICT Photo ID EAPR Bullocksptave W
USES: Select terms from National Register table
CURRENT Multiple dwelling, business HISTORIC Multiple dwelling, business
SITING: SETBACK 0 ft
STORIES 2 ROOF(s) Hipped
MATERIALS: Select terms from National Register table
ROOF Asphalt shingle WALL Clapboard, brick
FOUNDATION Brick OTHER Photo ID EAPR Bullockspointave E
WINDOWS Undivided storefront windows, double-hung vinyl sash, three-part windows with side casement sash
ALTERATIONS: PORCH
Material Maj Mod Min None Maj Mod Min None Maj Mod Min None Maj Mod Min None Configuration Maj Mod Min None Maj Mod Min None Maj Mod Min None Maj Mod Min None
INTEGRITY Excellent Good X Fair Poor Destroyed
PROPERTY COMPONENTS:
&
EVENT DATE SOURCE
Original Construction Ca. 1880 EP Assessor
(person/firm/organization)
ARCHITECTURE: If more than one, list & number in order of importance TYPE Two-part commercial STYLE(s) None
SURVEYOR Avery Corcoran DATE 9/2021 REVIEWER DATE Use reverse for comments, history, and bibliography Form version 200702rev161101
Context:
273‐279 Bullocks Point Avenue is a two‐story mixed‐use commercial building in a colonial revival style typical of commercial buildings of the late 19th century. The building built in 1880 has a generally large rectangular footprint, that comes in just under 9,000 square feet of useable space despite the south and north elevations being on slight diagonals. It is located at the intersection of Lincoln Avenue and Bullocks Point Avenue, with the Eastern facade facing the main road of Bullocks Point Ave towards Riverside Square. Historically this large building was known as the Winchester Block and was one of four principal commercial buildings that framed and brought customers to the square in downtown Riverside. The ground oor commercial space in this building has always been home to grocers, services, and restaurants, making it one of the essential stops for any resident to get their basic needs met.
Additionally, on the second oor is where there were typically rooms or apartments for rent, and during several periods there were gathering spaces as well, such as a dance hall. The Winchester Block helps anchor Riverside Square and has been a contributing commercial building for over one hundred years.
Historical Narrative:
Much of the fame and industry that made Riverside a tourist destination in the Victorian era was due to the rise of Crescent Park and the seasonal business that was drawn from it in the warmer months of the year. But, besides this Riverside had a bustling square in the center of town where the train depot (now Borealis Coffee) and the streetcars used to run up and down Bullocks Point Avenue. As Longstreth talks about all of this transportation coming together as a hub in Riverside Square was made possible in 1830 when the Boston and Providence Railroads organized and eventually formed the Providence and Bristol Company in 1850. This company laid down countless tracks running along the water, which would shape the landscape for years to come, making Riverside a more accessible place to resort to in the summer with readily available transportation.1 Over time as Riverside began to fade out as one of the most popular summer resort spots at the end of the 19th century, the population slowly was growing to a crowd of year‐round residents, who were turning the summer cottages into liveable residences in the winter months as well. Longstreth goes on to explain that despite the transition of Riverside from a tourist destination to a more permanent suburb radiating from the Square and the previous tourism at Crescent Park, this was made possible by planning and development of connecting places through transportation projects. The road construction projects of the turn of the century around 1903 allowed for commercial development and a boom of transportation by vehicle throughout the next two decades. After the rst world war, this road and highway program was expanded to impact many main roads in East Providence including Pawtucket, Newport, Willett Avenues, and many others creating a network across the entire town.2 This network and transportation made Riverside Square a bustling center in East Providence, with many commercial storefronts where you could do all of your shopping, dining, and entertainment activities all in one place. Despite being a cornerstone of Riverside Square, and such a
large building that many businesses came and went in the commercial rst oor spaces and still do to this day. During the turn of the century in this building, there was a plumbing and gastting business that doubled as a hardware store owned and operated by John P Brownell.3 This building continued to house more hardware stores, grocers, barbershops, and dry cleaners over the years, ebbing and owing with the growth of the square. A long‐time staple business in this building was the Cape Cod Stores Inc 5 cents to 1 dollar store which was in this storefront location on Bullocks Point Avenue for more than twenty years spanning the mid‐1930’s to the 1950s. Simultaneously, in this commercial space the Riverside Grille was located, previously known as Riverside Fish & Chips this was a cornerstone to get hotdogs but especially socialize.4 Many residents have informed me that the Riverside Grille was the “weenie joint” and the best place to meet friends to eat the 3 for 25 cents weenies. The Riverside Grille was open and running in this location until the last several years or so when there was just not enough foot trafc to keep open.
Evaluation of Signicance:
Criterion (A): 273‐279 Bullocks Point Avenue does appears eligible for listing in the National Register of Historic Places under Criterion A due to its direct association with major historical patterns or events in the East Providence neighborhood of Riverside, primarily with the commercial development in the Square. 273‐279 Bullocks Point Ave comprises a prominent two‐part commercial building that frames Riverside Square, and has historically been home to a multitude of retail stores and services directly associated with the development of the area as a streetcar suburb.
Criterion (B): The property does not appear eligible under Criterion B as it lacks association with any persons identified as significant in the history of the city or region.
Criterion (C): 273‐279 Bullocks Point Avenue could potentially be eligible for listing in the National Register of Historic Places under Criterion C due to its type as a two‐part commercial block associated with a period of intense commercial development at the beginning of the twentieth century. While 273‐279 Bullocks Point Avenue is not a work of a master, does not possess high artistic value particularly after recent renovations have signi cantly altered the building, and the building is of simple colonial revival style typical of the period.
Criterion (D): 273‐279 Bullocks Point Avenue does not appear eligible for listing in the National Register of Historic Places under Criterion D due to it not meeting the two requirements of Criterion D including having information to contribute to our understanding of human or pre‐human history, as well as the information, must be considered important to potentially ll research gaps, and create or challenge theories. While 273‐279 Bullocks Point Avenue served and continues to serve as a two‐part commercial building, provided housing as well as space for businesses, the only trend or information that it could provide to research might be along the lines of the
transient, typically renting residents of Riverside.
Integrity: 273‐279 Bullocks Point Avenue retains the integrity of location and design. There have been alterations to the building resulting in a lack of integrity in the aspects of materials, workmanship, and associations. As previously mentioned with the recent renovations in the past several years all windows have been replaced, window arrangements altered as well as overall material and style moderately to majorly changed. There is still feeling, as the massing is nearly identical to its historic presence, and it frames the square.
Sources:
Ancestry.com. 1900 United States Federal Census.
Ancestry.com. 1910 United States Federal Census.
Ancestry.com. 1920 United States Federal Census.
Ancestry.com. 1930 United States Federal Census.
Ancestry.com. 1940 United States Federal Census.
Rhode Island Historical Preservation Commission, and Richard W Longstreth. East Providence, Rhode Island. Statewide Preservation Report, P‐Ep‐1. Providence: Commission, 1976.
The City of East Providence Directory 1937‐38, R. L. Polk & Co.
The City of East Providence Directory 1944, R. L. Polk & Co.
The City of East Providence Directory 1949, R. L. Polk & Co.
The City of East Providence Directory 1955, R. L. Polk & Co
Detail of Providence Sanborn Map showing a variety of businesses, 1909, sheet 192, Library of Congress.
Rhode Island Historical Preservation & Heritage Commission HISTORIC PROPERTY DATA FORM
TOWN East Providence VILLAGE Riverside
ADDRESS 285-289 Bullocks Point Ave PLAT/LOT 312/13/013
NAME(s)
PROPERTY TYPE Bld Str Obj Site OWNERSHIP Priv Loc St Fed
STATUS NHL NR DOE CDOE Elig Indiv Dist C NC
DATABASE ID#
NR DISTRICT Photo ID EAPR Bullocksptave W
USES: Select terms from National Register table
CURRENT Business HISTORIC Multiple dwelling, business
SITING: SETBACK 0 ft
STORIES 2 ROOF(s) Flat, gable
MATERIALS: Select terms from National Register table ROOF Asphalt shingle, rolled asphalt WALL Permastone, stucco, wood shingle, vinyl, T1-11
FOUNDATION Concrete OTHER Photo ID EAPR Bullcokspointave E
WINDOWS Vinyl 1/1 Double Hung, Large Single Pane Storefront Windows, 2/2 Large Store Front Windows, 3 light fixed sash
ALTERATIONS: PORCH
INTEGRITY Excellent Good Fair X Poor Destroyed
COMPONENTS:
ARCHITECTURE: If more than one, list & number in order of importance
TYPE Two-part commercial STYLE(s) None
SURVEYOR Avery Corcoran DATE 9/2021
REVIEWER DATE Use reverse for comments, history, and bibliography Form version 200702rev161101
Context:
285‐289 Bullocks Point Avenue is a two‐story mixed‐use commercial building with no real style due to the high level of alterations. The earliest portion of the building is the rear ell, which was constructed ca. 1850 as a small one‐and‐a‐half‐story Victorian dwelling with an end gable roof. It is noted that it was for the time a very nice example of a Riverside summer cottage that was chastely decorated with a two‐sided porch built by the Riverside Land Company.1 Over time the building was expanded into the commercial building present today. The building has a generally rectangular footprint, despite the rambling nature of the additions over time. It is located at the intersection of Maple Avenue and Bullocks Point Avenue, with the eastern facade facing the main road of Bullocks Point Ave. whilst composed, of permastone, and stucco on the front and rear facades on the ground oor, with vinyl cladding on the second story. The building has a gable asphalt shingle roof on the main and secondary roofs. The main facade is street‐facing and has three main storefront sections, the foundation is concrete and only visible on the rear and side facades where there is not permastone covering surrounding the groupings of 3 single pane storefronts windows, each accompanied by a door per storefront. The second story is clad in vinyl siding and features evenly spaced one over one double‐hung vinyl windows that are all replacements. The south side elevation is on the corner of Maple Avenue with the rear ells abutting to a parking lot. The rear additions feature a mix of all of the previous cladding materials, with one addition appearing to previously have been a garage.
Historical Narrative:
285‐289 Bullocks Point Avenue is a large commercial building along the main avenue heading into Riverside Square. It is an evolution of a building with many additions over time. The original part of the building (the current ell) was a one‐and‐a‐half‐story dwelling with an end gable roof built ca. 1850. Another, larger residence occupied the corner until sometime after 1910, when the north portion of the building was constructed. The dwelling and commercial building were then joined sometime between 1920 and 1950 into the current configuration.
This two‐part commercial building has consistently served as rental residential space on the second oor above the commercial ground oor since the second story was completed.2 For more than a decade at the beginning of the twentieth century, the Spellman family rented living quarters in 285 Bullocks Point Ave whilst the Buckingham family, later on, but also started renting in 287 Bullocks Point Ave.3 This building was almost exclusively rented during the rst half of the 20th century reecting the adjustment period of permanent residents in Riverside. Over time this building typically housed retail establishments with the occasional service of a beautician or barber, which complemented the grocers and restaurants in the next‐
1 Rhode Island Historical Preservation Commission, and Richard W Longstreth. East Providence, Rhode Island. Statewide Preservation Report, P-Ep-1. Providence: Commission, 1976.
2 The City of East Providence Directory 1905, R. L. Polk & Co. 1937-38, 1944, 1949, 1955.
3 Ancestry.com. 1900 and 1910 United States Federal Census
door building of 273‐279 Bullocks Point Avenue. A cornerstone of the building and a well‐known shop in Riverside was Franciso Bucci’s or Bucci’s, which was a clothing store as well as a tailor from the 1920s throughout the 1980s in this storefront.4 Francisco Bucci’s Tailor Shop and Clothier help establish the trend of Riverside Square being a destination for buying all of your goods in a localized spot. This building that served as commercial space also as previously mentioned rented second‐oor residential space, many of those who were being rented to were business owners or employees in the square, if not working for the streetcar/railroad.
Evaluation of Signicance:
Criteria (A): 285‐289 Bullocks Point Avenue does not appear eligible for listing in the National Register of Historic Places under Criterion A due to its lack of association with major historical patterns or events in the East Providence neighborhood of Riverside. While 285‐289 Bullocks Point Ave is known locally for housing Bucci Francisco Tailor’s since the 1920s, it is not directly associated with larger historical trends of Riverside and its development.
Criteria (B): 285‐289 Bullocks Point Avenue does not appear eligible for listing in the National Register of Historic Places under This structure also lacks association with a prominent gure or group. This commercial building served many different families and businesses, but not a particular group or gure that had an impactful and well‐documented history in Riverside. The only business that may come to mind as signicant over a long period in this building is Bucci Francisco’s Tailor Shop which was in this building for upwards of 75 years, although I have not found any specic information on the owner(s) to indicate that they were individually signicant within a historic context. As stated in the National Register Criteria a property is not eligible if its only justication for signicance is that it was owned or used by a person who is a member of an identiable profession (tailor in this case), class, or social or ethnic group.
Criteria (C): 285‐289 Bullocks Point Avenue does not appear eligible for listing in the National Register of Historic Places under Criterion C due to its lack of signicant physical design or construction. 285‐289 Bullocks Point Avenue is not a work of a master, does not possess high artistic value, particularly after many alterations over time that has signicantly changed the building hence the building is considered to be in the no style category. As previously mentioned the alterations and many additions of varying periods and constructions make the level of integrity poor. All windows have been replaced, window arrangements altered, overall material and style moderately to majorly changed.
Criteria (D): 285‐289 Bullocks Point Avenue does not appear eligible for listing in the National Register of Historic Places under Criterion D due to it not meeting the two
4 The City of East Providence Directory 1980, R. L. Polk & Co. 6 Ancestry.com. 1900 and 1910 United States Federal Census
requirements of Criterion D including having information to contribute to our understanding of human or pre‐human history, as well as the information, must be considered important to potentially ll research gaps, and create or challenge theories.
Integrity: 285‐289 Bullocks Point Avenue retains the integrity of location yet no other aspects due to the high level of alterations and additions to the original core of the building.
Sources:
Ancestry.com. 1900 United States Federal Census.
Ancestry.com. 1910 United States Federal Census.
Ancestry.com. 1920 United States Federal Census.
Ancestry.com. 1930 United States Federal Census.
Ancestry.com. 1940 United States Federal Census.
Rhode Island Historical Preservation Commission, and Richard W Longstreth. East Providence, Rhode Island.
Statewide Preservation Report, P‐Ep‐1. Providence: Commission, 1976.
The City of East Providence Directory 1937‐38, R. L. Polk & Co.
The City of East Providence Directory 1944, R. L. Polk & Co.
The City of East Providence Directory 1949, R. L. Polk & Co.
The City of East Providence Directory 1955, R. L. Polk & Co.
285-289 Bullocks Point Avenue in the late twentieth century, Collection of the East Providence Planning Department.
Detail of Providence Sanborn map showing site of 285-289 Bullocks Point Ave in 1909. The small house on the left remains as the rear ell of the current building. (Sheet 192, Library of Congress).
Detail of Providence Sanborn map showing site of 285-289 Bullocks Point Ave in 1920. The north portion of the building has been constructed and the dwelling altered.
Detail of East Providence Sanborn Map, 1950 showing current configuration of the building.
Rhode Island Historical Preservation & Heritage Commission HISTORIC PROPERTY DATA FORM
TOWN East Providence VILLAGE Riverside
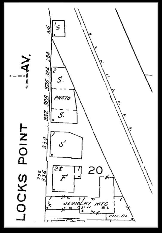
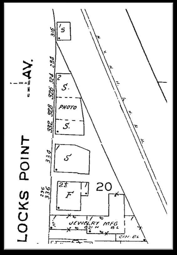
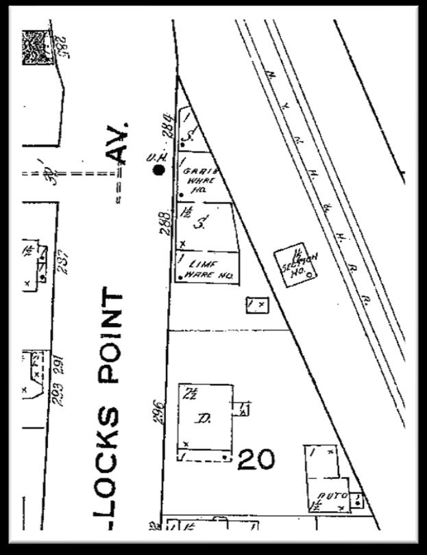
ADDRESS 290-292 Bullock’s Point Ave. PLAT/LOT 312/12/019/00
NAME(s) Archie’s Bait & Tackle, Salty Dog Daycare
PROPERTY TYPE Bld Str Obj Site
Loc St Fed
STATUS NHL NR DOE CDOE Elig Indiv Dist C
USES: Select terms from National Register table
SITING: SETBACK >10
STORIES 1 ROOF(s) Skirt (front), flat
MATERIALS: Select terms from National Register table ROOF Wood, rubber WALL Stucco, vinyl
FOUNDATION cement
WINDOWS Lg. fixed light storefront, wood frame
ARCHITECTURE: If more than one, list & number in order of importance
SURVEYOR Christina Sewall DATE 12/16/2021
REVIEWER
DATE
Use reverse for comments, history, and bibliography Form version 200702rev161101
Historical Narrative
290-292 Bullocks Point Ave is a 1-story commercial building with two storefronts (Fig 1). It has a flat roof and a skirt with asphalt shingles. It is clad in stucco. Each business has one large plate glass window; another small sliding side-by-side window is set up in the wall to the right of the entrance on the larger storefront. This larger storefront to the north is set close to Bullock’s Point Ave., while the smaller storefront to the south is set slightly further back. The sidewalk runs in front of both. A narrow alley separates this building from the one to the north. To the south is a driveway and a vacant lot.
The building sits on a lot that faces Bullock’s Point Ave to the west (Fig. 2) Behind it is the East Bay Bike Path. Development began on this site during the late 1800s when two dwellings were constructed. By the 1920s the northernmost parcel, a triangle bounded by Bullock’s Point Ave. and the railway line, had two shops and two warehouse areas in a large building. The dwellings remained to the south. Between 1921 and 1956, the shops to the north remained, and a new 1story shop was constructed at 334 Bullocks Point Ave.; later it was renumbered 290-292 (Fig. 3).
290-292 Bullocks Point Ave. has been occupied by a variety of small businesses. In the 1940s, Richard. A. Hobson, plumber, is listed as an occupant of 290. By 1953, Miele’s Restaurant was located here. Vincent Miele is listed as a cook in the East Providence Directory for that year. In 1959, Riverside Shoe occupied the building. It is not clear whether 290 refers to the entire building at this point or just one side. In 1965, Tyler’s Eat Shoppe is listed at 292. Riverside Aquarium is listed at 290 in 1970. In 1975, Del’s Restaurant occupied 290-292. In 1980, the two occupants were Mrs. Delores Hansen, retired, at 290a (which means, presumably, that this part of the building had been made into two separate areas), and Greg’s NY System at 292. By 1982, the building was vacant. The following year Rusty’s Restaurant opened, but it did not last long. In 1985, the only occupant was Jason J. Madden, living at 290a. The site was vacant from 19861990. That is when Archie’s Bait and Tackle moved to 292 from next door at 334. It has remained to the present, the longest tenure of any business in the building. Between 1990 and the present, 290 has been occupied by Harborview Candle, Kennedy Law Offices, and The Wanderer’s Boutique, which sold crystals, incense, and gifts. It is currently Salty Dog Daycare.
The fluctuations in occupancy and types of businesses operating here reflect the changes occurring in Riverside during the post-WWI period to the present. Most notably, the rapid changes in ownership and frequent vacancies during the 1960s, 70s, and 80s parallel the economic downturn that affected the community as a whole. The one business that has succeeded, Archie’s Bait and Tackle, was established in that block, first across the street, then next door, and finally at 292. The clientele are generally not Riverside residents, but people from East Providence who travel past on Bullock’s Point Ave. on their way to go fishing. The Salty Dog Daycare appears to be successful, and at present the building is well-kept and both businesses are contributing to the new growth in that part of Riverside.
Statement of Significance
290-292 Bullock’s Point Ave. does not appear eligible for listing in the National Register of Historic Places under Criteria A. It is not associated with a specific event, a pattern of events, or a historic trend that made a significant contribution to the development of Riverside.
290-292 Bullock’s Point Ave. does not appear eligible for listing in the National Register of Historic Places under Criteria B, since it was not associated with any individual who made a specific contribution to history.
290-292 Bullock’s Point Ave. does not appear eligible for listing in the National Register of Historic Places under Criteria C. It is a one-story commercial block with two storefronts. There have been modifications to the cladding on the sides and rear, now vinyl, also the roof, windows, and window trim. The entrances have also likely been altered with the doors having been replaced. There is nothing of high artistic value, nor are there distinctive characteristics of this type, period, and method of construction. It is ordinary, unremarkable, and common in type and style.
290-292 Bullock’s Point Ave. does not appear eligible for listing in the National Register of Historic Places under Criteria D. It does not have the potential to yield information that will contribute to our understanding of human history.
Bibliography and/or References
"Clock Top." East Providence Historical Society., accessed Oct 25, 2021, https://ephist.org/showcase/clock-top/
The East Providence Directory 1913. Providence, R.I.: Sampson & Murdock Company.
"Providence Historical Aerial Maps." Providence Historical Aerial Viewer., accessed Nov. 10, 2021, https://www.arcgis.com/apps/webappviewer/index.html?id=b1b3a4a4c66847a8b767cde262 64246e
Everts and Richards. "Everts and Richards Map of East Providence, 1985." Historic Map Works., accessed Dec. 6, 2021, http://www.historicmapworks.com/Map/US/10145/Pages%20144%20and%20145%20%20 %20East%20Providence%20Town/Providence%20County%201895/Rhode%20Island/ .
Hopkins, G. M. "Plate 23. Part of East Providence, Providence Co. 1882." David Rumsey Map Collection., accessed Dec. 6, 2021, https://www.davidrumsey.com/luna/servlet/detail/RUMSEY~8~1~266849~90041404:Plate23 Part-of-East-Providence,-
?sort=Pub_List_No_InitialSort%2CPub_Date%2CPub_List_No%2CSeries_No&qvq=w4s:/ where%2FEast%2BProvidence%2B%252528R.I.%252529;q:east%20providence;sort:Pub_ List_No_InitialSort%2CPub_Date%2CPub_List_No%2CSeries_No;lc:RUMSEY~8~1&mi =10&trs=14.
Longstreth, Richard. 2000. The Buildings of Maine Street: A Guide to American Commercial Architecture. New York: AltaMira Press.
McAlester, Virginia Savage, and Lee McAlester. 2015. A Field Guide to American Houses (Revised). New York: Knopf.
Remick Bruce. 2020. Living in Riverside : First 80 Years, 1870 to 1950 Self-published.
Rhode Island Historical Preservation Commission, and Richard W. Longstreth. 1976 . East Providence, Rhode Island. Statewide Preservation Report, P-Ep-1. Providence: Commission.
Richard's Map Company. "Plate 013 from Providence Metropolitan District 1917 Vo. 2 - Ten Miles from Providence, Rhode Island." Historic Map Works., accessed Dec. 6, 2021, http://www.historicmapworks.com/Map/US/28995/Plate+013/Providence+Metropolitan+Di strict+1917+Vol.+2+-+Ten+Miles+from+Providence/Rhode+Island/.
Rodericks, Bob. "Jan 2014 East Providence Reporter by Dick Georgia - Issuu.", accessed Nov 15, 2021, https://issuu.com/reportertoday/docs/current__ep_2a22b789d41c38
Fig. 1 290-292 Bullocks Point Ave
Fig. 2 290-292 Bullocks Point Ave
Fig. 3 Sanborn Maps 1921 & 1956
Rhode Island Historical Preservation & Heritage Commission HISTORIC PROPERTY DATA FORM
TOWN East Providence VILLAGE Riverside
ADDRESS 295 Bullocks Point Ave/15 Oak Ave PLAT/LOT 312/23/001
NAME(s) Riverside Congregational Church
PROPERTY TYPE Bld Str Obj Site OWNERSHIP Priv Loc St Fed
STATUS NHL NR DOE CDOE Elig Indiv Dist C
USES: Select terms from National Register table
CURRENT Religious structure HISTORIC Religious structure
SITING: SETBACK 31
STORIES 1 ROOF(s) Gable
MATERIALS: Select terms from National Register table ROOF Asphalt WALL Brick
FOUNDATION Concrete OTHER
WINDOWS Vinyl double-hung and awning sash
ALTERATIONS:
DATABASE ID#
PROPERTY COMPONENTS: List & number in order of importance. Include the primary component of the resource as number
Original Construction 1960 Remick, Bruce
ARCHITECTURE: If more than one, list & number in order of importance TYPE STYLE(s) None
SURVEYOR Kayla Hansen DATE 9/2021 REVIEWER DATE Use reverse for comments, history, and bibliography Form version 200702rev161101
Historical Narrative:
The site of present‐day Riverside Congregational Church has been owned and occupied by the Congregational Church since 1881. The Riverside Congregational Church was established February 11th, 1881. An earlier interdenominational Union Chapel was sold to the Congregational Society and served as the Riverside Congregational Church until the summer of 1903 The church was organized with an original membership of eight people: Edward P. Adams, Elizabeth A. Manning, Eliza J. Adams, George A. Paull, Mary A. H. Brigham, Flora F. Paull, Adeline P. Knowlton, and Ebenezer Plummer (Riverside Congregational UCC). The Union Chapel building was built and designed by General Lysander Flagg. It was 30’ by 60’ and had a capacity of 300 people (Remick 2020, 24). The Congregational Church renovated the building over a period of 8 months, beginning the summer of 1903. It was raised 8 feet, an addition was added at the north side, the front porch and main entrance were removed, four new windows were installed, and a new bell tower and steeple were erected (Figure 1). The new width of the building doubled the original seating capacity (Remick 2020, 24). This building was demolished in 1960 and replaced with the current building (Figure 2). With the new church the congregational society had additional space for Sunday school and the various societies connected to the church.
Riverside started as a series of summer colonies in the 1860s and by 1881 roughly 100 families resided in Riverside. The establishment of the Riverside Congregational Church was a result of growing summer tourism in Riverside as well as the development of Riverside in general. Remick (2020) states “by 1872 the increasing number of new summer residents at Cedar Grove created a religious need so satisfied by the erection of a new chapel building on Bullock’s Point Avenue at Oak Avenue, and it was given the name Union Chapel” (24). Union Chapel was located at the site of present‐day Riverside Congregational Church (Figure 3). By 1874 Union Chapel was holding Sunday services year‐round instead of just during the summer months. The hope was that the chapel would “eliminate the religious void in the community until separate denominational churches could be established” (Remick 2020, 24).
The Congregational Church was a result of the growing development and establishment of Riverside as a community. The church had a direct relationship with the economical, commercial, social, and religious developments occurring in Riverside. In additional to the Congregational Church representing the growth of the population in Riverside, it also marked the beginning of the trend of the erection of new churches in the community. St. Mark’s Episcopal Church on Turner Avenue was founded the same year. Following the establishment of the Riverside Congregational Church in 1881, St. Brendan Parish was established in 1889. A few years later the parish’s Mission Chapel was erected in 1892. In 1905, a larger church for St. Brendan Parish was built on Turner Avenue.
Evaluation of Signicance:
The Riverside Congregational Church does not appear eligible under Criterion A. The establishment of the church was directly related to Riverside’s growth and development in the early 1870s, but no historic resources survive on site from that period. The current property is not associated with these historic contexts and is not associated with any other identified events or patterns of events significant
in the history of the area.
The Riverside Congregational Church does not have significance under Criterion B as it has no association to individuals whose specific contributions to history can be identified and documented.
The Riverside Congregational Church does not have significance under Criterion C as the building does not embody distinctive characteristics of a type, period, or method of construction nor does it represent the work of a master or possess high artistic value. The church has characteristics of mid‐century Modern church architecture but it is an undistinguished example.
The Riverside Congregational Church does not have significance under criterion D. Although the site itself has a long and important history, as it developed from the original Union Chapel to the first renovation for the Congregational Church and finally to the current building, the site and building itself do not have any potential to contribute information to our understanding of its history. The history of the site is only contained in documentation not in physical remains on the site.
The Riverside Congregational Church’s retains integrity of location because the property has never been moved. The site has had a religious function since 1872 when Union Chapel was built. The property retains integrity of design and setting because the overall form shape and massing have not changed since its built date and the surroundings are consistent with what was present in the late twentieth century. The character of the building and property and the physical conditions have remained the same. The property retains integrity of materials because there have been very few alterations to the building since its built date in 1960. The property’s integrity is expressed in terms of workmanship as its physical characteristics and type of construction resemble its built date in 1963. The property retains integrity of feeling because the property expresses an aesthetic and historical sense of a 1960’s church. Lastly the property retains integrity of association as its current function as a church is the same as the original function at its built date in 1960.
Sources: East Providence Directory. 1998. East Providence Directory. 1963.
Remick, Bruce. Rhode Island: Living in Riverside, First 80 Years 1870‐1950. Self‐published, 2020.
“Riverside Congregational UCC ‐ East Providence, RI: United Church of Christ Church near Me.” Churches near me. Accessed November 30, 2021. https://www.joinmychurch.com/churches/Riverside ‐Congregational‐UCC‐East‐Providence‐ Rhode‐Island‐United‐States/327654.
Figure 1. Remick, Riverside Congregational Church, 26
Image of the Riverside Congregational Church in 1904 after its renovation in 1903.
2. Image by author, Riverside Congregational Church, 2021
Image of present‐day Riverside Congregational Church on Bullocks Point Avenue.
Figure
Figure 3. Remick, Riverside Congregational Church, 24. Image of the Riverside Congregational Church in 1894, previously Union Chapel, after its purchases by theCongregational Society. Source: J. Rafferty, Panoramic Map of Riverside, Pleasant Bluff, Camp White, and Crescent Park, R.I., 1894.
Sanborn map of Riverside in East Providence Rhode Island from 1920 This map shows the Riverside Congregational Church. Source: Digital Sanborn Maps of Rhode Island, 1920.
Sanborn map of Riverside in East Providence Rhode Island from 1956. Source: Digital Sanborn Maps of Rhode Island, 1956
J. Rafferty, 1894 Panoramic map of Riverside with the Riverside Congregational Church outlined in red.
Source: R.C Heaton, Library of Congress, 1894.
Evaluation of Significance
Kayla Hansen
Rhode Island Historical Preservation & Heritage Commission HISTORIC PROPERTY DATA FORM
TOWN East Providence VILLAGE Riverside
ADDRESS 329 Bullocks Point Ave
NAME(s) East Providence Fire Station 2
PLAT/LOT 312/52/007/00
PROPERTY TYPE Building OWNERSHIP Local
STATUS
USES: Select terms from National Register table
CURRENT Government/fire station
SITING: SETBACK
STORIES 1 ROOF(s) Flat
MATERIALS: Select terms from National Register table ROOF Rubber WALL Brick
FOUNDATION Concrete OTHER Aluminum
WINDOWS Aluminum double-hung (1 over 1) ALTERATIONS:
INTEGRITY X
ARCHITECTURE:
SURVEYOR Malcolm Wells DATE
REVIEWER
DATE
HISTORICAL NARRATIVE
The first building on this site was also a fire station but also housed the police department while it was standing (Sanborn Map 1956). Built in 1908, the original 329 Bullocks Point Avenue station was a simple, nearly square two-story brick building with two garage doors leading directly onto the street. At this time, the fire department in Riverside was the Narragansett Engine Company No. 2 and before they built this new station, they operated out of the building at 9 Turner Avenue (East Providence City Directory 1892). The 1908 station at 329 Bullocks Point Ave served as the home of the police and fire department until 1975 when it was replaced by the l arger, modern building that exists today (RIHPHC Survey Forms 1975). While the current station is larger, it only houses the fire department as police and fire units grew larger over time. Along with the new station being built, the fire department in Riverside got its current name, East Providence Fire Station 2 (East Providence City Directory 1976). As the current building is larger, it also has an additional, third garage bay, which allows for the East Providence ambulance rescue crew number 2 to operate alongside the fire department. The current building has been acting successfully as the Riverside fire station since it was built.
HISTORICAL IMAGES AND MAPS
A historic image of the 1908 fire station, later demolished in 1975 and replaced in 1976. Although this building housed both the engine company and police for Riverside, the station is clearly smaller with what seems to be most of the first floor dedicated to garage space. The building is also not set back from the street, a result of its 1908 built date. Source: RIHPHC 1975 Survey Forms.
Sanborn map from 1956 showing the nearly square footprint of the old station which was demolished in 1975. The map shows the inclusion of the police department which no longer operates from this site. Source: 1956 Sanborn Fire Insurance map of East Providence (based on vol. 6 of the 1921 edition).
This Google Earth image shows the J-shaped footprint of the current fire station and its increased setback from the street for a driveway and parking lot. Source: Google Earth.
EVALUATION OF SIGNIFICANCE
While the current fire department at 329 Bullocks Point Avenue is a good example of a 1970s modern station, the building is not eligible for nomination to the National Historic Register as it was only built forty-six years ago, in 1975. While the previous 1908 station on the site would be eligible for nomination because of its connection to the automotive development and population growth during the early twentieth century, it was torn down for the current building. Although it is not yet eligible, the current station has retained its original integrity and form and has a historical connection to the modernization taking place around America during the time period.
REFERENCES
“East Providence City Directories.” East Providence Town Librar y, Town of East Providence, Rhode Island, 1892 and 1976, Sampson & Murdock Co. and R.L. Polk and Co.
“Rhode Island Sanborn Fire Insurance Maps.” Digital Sanborn Maps, 1956, https://digitalsanbornmaps.proquest.com/login?accountid=3915.
“Rhode Island Statewide Survey Form 329 Bullocks Point Avenue.” RIHPHC, 1975.
“Digital Sanborn Maps 1867-1970.” ProQuest, Sanborn Map Company, https://search-proquestcom.rwulib.idm.oclc.org/eebo/advanced?accountid=25133.
Remick, Bruce. Living in Riverside: First 80 Years, 1870 to 1950. N.p, n.p.
Google Earth, Google, earth.google.com/web/.
Rhode Island Historical Preservation & Heritage Commission HISTORIC PROPERTY DATA FORM
TOWN East Providence VILLAGE Riverside
ADDRESS 329 Bullocks Point Ave
NAME(s) Riverside World War I Memorial
PLAT/LOT 312/52/007/00/
PROPERTY TYPE Bld Str Obj Site OWNERSHIP Priv Loc St Fed
STATUS NHL NR DOE CDOE Elig Indiv Dist C NC
NR DISTRICT
USES: Select terms from National Register table CURRENT Memorial HISTORIC Memorial
SITING: SETBACK 7.2 ft
STORIES ROOF(s)
MATERIALS: Select terms from National Register table ROOF WALL
FOUNDATION OTHER Brass, Stone
WINDOWS
ALTERATIONS: PORCH WINDOWS
Material Maj Mod Min None Maj Mod Min None Maj Mod Min None Maj Mod Min None Configuration Maj Mod Min None Maj Mod Min None Maj Mod Min None Maj Mod Min None
INTEGRITY X Excellent Good Fair Poor Destroyed
PROPERTY COMPONENTS: List & number in order of importance. Include the primary component of the resource as number 1 Component Type Code Count Component
Code Count (1) Memorial O-C 1
(2) Fire Station B-NC 1 (5) (3) (6) EVENT DATE SOURCE NAME (person/firm/organization) ROLE Original Construction Ca. 1920
ARCHITECTURE: If more than one, list & number in order of importance TYPE STYLE(s)
SURVEYOR Alyssa Bailey
DATE 9/23/21 REVIEWER
DATE
Use reverse for comments, history, and bibliography Form version 200702rev161101
Historical Narrative
The World War I Memorial located at 329 Bullocks Point Ave. was erected ca. 1920 by the citizens of Riverside. The memorial lists 180 US Army and US Navy service members that were sent to fight during the five‐year war. During World War I, a total of 804 East Providence residents were drafted or volunteered before a declaration of war was announced.1 When the war ended in 1918, those who survived were welcomed home with large ceremonies including ceremonies held in East Providence. Of the 804 that were drafted from East Providence, twenty‐three of those soldiers would lose their lives and never return home.2 Often times war memorials will signify those who did not survive with symbols such as stars. The small memorial located in front of the fire station has six notated with stars to most likely signify Riverside residents who gave their life during war.
Evaluation of Significance
The World War One memorial at 329 Bullocks Point Avenue does not appear eligible for the National Register of Historic Places under Criterion A. It is associated with responses to World War I in Riverside and East Providence, but is not significantly associated with war efforts or recovery.
The memorial does not appear eligible under Criterion B as it is not associated with a person or persons who made individually important contributions to the history of Riverside or the war effort.
The memorial does not appear eligible under Criterion C as the design of the memorial is not the work of a master and does not display high artistic value.
The World War One memorial at 329 Bullocks Point Avenue does not appear eligible under Criterion D. While it does have information to contribute to the understanding of human history, information it possesses is widely available elsewhere.
The World War One memorial at 329 Bullocks Point Avenue does not appear to meet Criteria Consideration F for commemorative properties.3This memorial is not eligible under this criterion as it does not possess significance based of its own value, and instead possesses significance due to the value of the event being memorialized.
Sources
Conforti, Joseph. “Our Heritage: A History of East Providence.” White Plains: Monarch, 1976.
1 Joseph Conforti. “Our Heritage: A History of East Providence.” White Plains: Monarch, 1976. Pg. 136.
2 Ibid 1. 136.
3 “National Register Bulletin 15: How to Apply the National Register Criteria for Evaluation,” National Park Service, 1990. Pg. 39.
“East Providence 1956.” ProQuest, Digital Sanborn Maps, 1867‐1970. https://digitalsanbornmaps ‐proquest‐com.rwulib.idm.oclc.org/browse_maps/40/8059/39330/41214/558685?accountid=25133
“National Register Bulletin 15: How to Apply the National Register Criteria for Evaluation,” National Park Service, 1990. https://bridges.rwu.edu/access/content/group/3fda2df5‐280c‐4e16‐a144‐593a5ac95147/Week%2012%20‐
%20Identifying%20and%20Developing%20Historic%20Contexts/https%3A__www.nps.go20200 825174930.URL
Figure 1: 1956 Sanborn map with noted section of where the World War I memorial would be located.
Source:: East Providence 1956. ProQuest, Digital Sanborn Maps, 1867‐1970. Pg. 60.
Figure 2: Bronze place on face of memorial with listed names of Army and Navy servicemen from Riverside. Taken by Alyssa Bailey.
Rhode Island Historical Preservation & Heritage Commission HISTORIC PROPERTY DATA FORM
TOWN East Providence VILLAGE Riverside
ADDRESS 332 Bullock’s Point Ave. PLAT/LOT 312/12/018/00
NAME(s) Miller, Rauri /Apiary LLC
PROPERTY TYPE Str Obj Site
STATUS
USES: Select terms from National Register table
CURRENT Multiple dwelling, business HISTORIC
SITING: SETBACK
STORIES 2 ROOF(s) flat
MATERIALS: Select terms from National Register table ROOF Wood, rubber WALL Wood shingle, clapboard
FOUNDATION concrete OTHER
WINDOWS Large single pane fixed storefront, double-hung 1/1 (2nd story),
Original Construction c.1900 Plat map 1892, Sanborn map 1900, 1921
North section removed, Story added c.1940 Sanborn map, 1956
ARCHITECTURE: If more than one, list & number in order of importance
TYPE Two-level mixed-use, commercial/residential STYLE(s) Classical Revival
SURVEYOR Christina Sewall
DATE 12/16/2021 REVIEWER
DATE
Historic Narrative
332 Bullocks Point Aveis a two-level commercial building located just south of Riverside Square (Fig. 1). There isasmallone-story building to the north, and a larger one-story commercial building with two businesses to the south.The East Bay Bike Path runs along the eastern edge of the property. The building currently houses apartments on theupper level and onebusiness, Union Burrito,in the southernpart of the lower level (Fig. 2). It is cladwith clapboards on the northernlower level and shingled on the second story. The lower southern section is clad in naturalwood. Four entrances face Bullock’s Point Ave – three arefor the businesses, and one is an entrance fortheapartments above.To the north of the building is a small patio area with seating. Between the building and the bike path is additional outdoor seating. Two doors exit to this area from the firststory. Another door exits from the southern rear of the building to a rampthat provides handicapped access.
The land on which the building sits waspart of an addition to Riverside Plat recorded in May of 1872 (Fig. 3). The landwas sold three times before 1895 when it became the property of Tobias Burke. He owned it until 1946. At some point between1900 and 1921 thisbuilding was constructed (Fig. 4). During theearly decades of the twentieth century it was known as the Burke Block because theowner, Tobias Burke,operateda dry goods business located there. It changed ownership in 1946 and again in1947 when it was bought by Thomas H and Jennie C. McCuskar. They owned it until 1966, when it was sold to Andre and Josephine Manuel. After 11 yearsDennis and Lucinda Brown bought it.It remained in the Brown family, passing to Michael and Donna in 2006.In 2016, it was sold to Apiary LLC, the current owner.
The occupation of 332 Bullocks Point Ave. reflects the ebb and flow of Riverside’s social and economic prosperity. When the building was first constructed, the neighborhood was in the midst of a period of growth. Riverside was a resort area, and the businesses that made their home in the building reflect this. Tobias Burke operated a dry goods store here from the early 1900s until the 1930s.The other anchor business was Riverside Hay and Grain which lasted from 1920-30, reflecting the continued agricultural uses just outside the village square. During the 1940s businesses reflected the growing suburban character of the area with an optometrist, a dentist, and a barber in the building. By the 1950s, a beauty salon had taken over part of the space, and Paquet’s Photo Shop occupied the middle part of the building (Fig. 5). The rest was vacant in 1955. The 1960s and 70s saw several businesses come and go, including Riverside Discount Variety Store, the Appliance Hospital (repairs), and Ethel’s Pizza (1970). The apartments above continued to be occupied by locals including people in the State Maintenance Department and the Providence School Department. In 1980, Stay-N-Style Hair Fashions set up shop and remained until the early 1990s. A consignment shop for baby furniture and clothes came and went in 1982. The next significant occupant was JMart, which occupied the northern portion of the building in 2015. The southern portion was home to TribalOne Women’s Wellness Center. In 2016 the building was bought by Apiary LLC. Proud Mary’s Donuts occupied the southern portion of the building for a short time before it was replaced with Union Burrito.
This building reflects the early growth of Riverside around1900.It was still a vibrant neighborhood in the early 1900s when Tobias Burke owned the building and Riverside Hay and Grain was an important business. The next several decades saw a decline,and small business
owners like dentists andhairdressers were occupants. There was never another period of prosperity for Riverside,and although the building was never vacant, occupancy was never consistent or of atype of business that would become a serious anchor in the community. The exception may have been Stay-N-Style HairFashionsthat was a fixturein the 1990s.
Statement of Significance
332 Bullock’s Point Ave. appears eligible forlisting in the National Register of HistoricPlaces under Criteria A. The original building was associated with the riseofcommercial development in Riverside between 1880-1920. During the 1920s it was an anchor commercial property in the emerging streetcar suburban hub near the train depot, before automobiles became commonplace and their usedecentralized this area andcommerce moved to the outskirts of town. The community was still small-scale, and locals walked to nearby stores such as Riverside Hay and Grain, located in this building. A dry goods store, owned by Tobias Burke, was also located here. Upstairs apartments also contributed to the early prosperity of downtown Riverside; a dentist, construction worker, hairdresser, and optometrist lived here at various points before WWII.
332 Bullock’s Point Ave. does not appear eligible for listing in the National Register of Historic Places under Criteria B. Although during the 1930s, 40s, and 50s it was known as the Burke Block, named for owner Tobias Burke, he was not aperson of historical significance.
332 Bullock’s Point Ave. appears eligible for listing in the National Register of HistoricPlaces under Criteria C. It is one of only two surviving block buildings that were at the center of Riverside Square, along with the Winchester Block. Major alterations to form and materials occurred during the 1940s.However, it is an example of atwo-story commercial block typical of those built during the first half of the twentieth century. The series of doors, most of the windows on the first floor, all thewindows on the second floor, and the bay windowon the upper north sidewere part of the 1940s renovation. The roof and cornice have also retained their shapeand style from that time.
332 Bullock’s Point Ave. does not appear eligible for listing in the National Register of Historic Places under Criteria D. It is unlikely that new information will be gained from this building. This building retains integrity of location, association, and setting. There was one significant change made to the building’s form sometime between when it was constructed and the 1940s. The northernmost section of the building,284, was removed. A second story was added to the remaining sections of the building to make itone uniform height. Exterior changes to the windows, window trim, and cladding on the southernmost storefront entrance, altered several times since the 1970s or 80s,also call the integrity of design, workmanship, and materials into question. However, the overall feeling of an early twentieth century building remains; the windows remain in the same location on the second story and on most of the first story as well. The series of four entrances remains intact. The bay window on the northern second story and the cornice are other details that contribute to this feeling. For these reasons, the overall integrity
of 332Bullocks Point Ave. can be said to be strong enough to convey significance and to support the building being listed on the National Register under Criteria Aand C.
Bibliographyand/or References
East Providence City Directory 2013. Boston: R.W. Polk & Co.
The East Providence Directory 1913. Providence, R.I.: Sampson & Murdock Company.
"Providence Historical Aerial Maps." Providence Historical Aerial Viewer., accessed Nov. 10, 2021, https://www.arcgis.com/apps/webappviewer/index.html?id=b1b3a4a4c66847a8b767cde262 64246e.
Everts and Richards. "Everts and Richards Map of East Providence, 1985." Historic Map Works., accessed Dec. 6, 2021, http://www.historicmapworks.com/Map/US/10145/Pages%20144%20and%20145%20%20 %20East%20Providence%20Town/Providence%20County%201895/Rhode%20Island/ .
Hopkins, G. M. "Plate 23.Part of East Providence, Providence Co. 1882." David Rumsey Map Collection., accessed Dec. 6, 2021, https://www.davidrumsey.com/luna/servlet/detail/RUMSEY~8~1~266849~90041404:Plate23--Part-of-East-Providence,?sort=Pub_List_No_InitialSort%2CPub_Date%2CPub_List_No%2CSeries_No&qvq=w4s:/ where%2FEast%2BProvidence%2B%252528R.I.%252529;q:east%20providence;sort:Pub_ List_No_InitialSort%2CPub_Date%2CPub_List_No%2CSeries_No;lc:RUMSEY~8~1&mi =10&trs=14.
Longstreth, Richard. 2000. The Buildings of Maine Street:A Guide to American Commercial Architecture. New York: AltaMira Press.
McAlester, Virginia Savage, and Lee McAlester. 2015. A Field Guide to American Houses (Revised). New York: Knopf.
Remick Bruce. 2020. Living in Riverside : First 80 Years, 1870 to 1950 Self-published.
Rhode Island Historical Preservation Commission, and Richard W. Longstreth. 1976 .East Providence, Rhode Island. Statewide Preservation Report, P-Ep-1. Providence: Commission.
Richard's Map Company. "Plate 013 from Providence Metropolitan District 1917 Vo. 2 - Ten Miles from Providence, Rhode Island." Historic Map Works., accessed Dec. 6, 2021, http://www.historicmapworks.com/Map/US/28995/Plate+013/Providence+Metropolitan+Di strict+1917+Vol.+2+-+Ten+Miles+from+Providence/Rhode+Island/
Rodericks, Bob. "Jan 2014 East Providence Reporter by Dick Georgia - Issuu.", accessed Nov. 15, 2021, https://issuu.com/reportertoday/docs/current__ep_2a22b789d41c38.
Figures
1
Fig.
Fig. 2 332 Bullock’s Point Ave, 2021
Fig. 3 Plat map, 1872
Fig. 4 Sanborn Map, 1900 &1920
Fig. 5 Sanborn map 1956
Rhode Island Historical Preservation & Heritage Commission HISTORIC PROPERTY DATA FORM
TOWN East Providence VILLAGE Riverside
ADDRESS 376 Bullocks Point Ave.
NAME(s) Lee’s Restaurant
PLAT/LOT 312/12/029/20
PROPERTY TYPE Bld Str Obj Site OWNERSHIP Priv Loc St Fed
STATUS NHL NR DOE CDOE Elig Indiv Dist C NC NR DISTRICT
USES: Select terms from National Register table
CURRENT restaurant HISTORIC
SITING: SETBACK 40 +/-
STORIES 1 ROOF(s) Gable/hip with gabled dormer
MATERIALS: Select terms from National Register table
ROOF asphalt WALL Vinyl, concrete, cinder block
FOUNDATION concrete OTHER metal
WINDOWS Double- hung 1/1, sliding, large single pane fixed ALTERATIONS:
INTEGRITY
COMPONENTS:
Construction
c.1950 Aerial photos, Sanborn map 1921,1956
ARCHITECTURE: If more than one, list & number in order of importance TYPE Commercial
SURVEYOR Christina Sewall DATE 12/16//2021
REVIEWER
DATE
Historical Narrative
Lee’s Restaurant, located at 376 Bullocks Point Ave. in the Riverside neighborhood of East Providence, RI, sits on the corner of Bullocks Point Ave. and Allen Ave. about three blocks south of Riverside’s central square (Fig. 1). It is a modern 1-story commercial building set back from the street with a large adjacent parking lot (Fig. 2) Across the street to the west is the East Providence Fire Station #2. Lee’s is surrounded by residential buildings to the north, south, and east. The East Bay Bike Path lies slightly further east. The restaurant is located on the north end of the lot; the paved parking lot takes up the remainder. It has spaces for 36 +/- vehicles.
This commercial building was constructed sometime after 1939 during the post-war boom in Riverside. Sanborn maps from 1900 and 1921 show that a house existed previously on the site, immediately abutting Allen Ave. (Fig. 3). Aerial photos from that year confirm there is a structure on the lot that appears to be a dwelling (Fig. 4). By 1950, both aerial photos and Sanborn maps show the commercial building, but no parking lot (Fig. 5). The parking lot appears to have been paved and lined between 1962-1972 based on aerial photos (Fig. 6).
The style of the building is typical of 1-story family restaurants built during the post-WWII period. It has a gable/hip roof with a cross gable over the front entrance facing Bullock’s Point Ave. A smaller entrance in a bump-out from the side ell to the south allows access from the parking lot.
The first record of a restaurant at this location is found in 1957 (East Providence Directory, 71). It lists DiMaio’s Restaurant at 376 Bullock’s Point Ave. The 1955 East Providence City Directory does not list a business at this location. By 1963 the restaurant at this site was called Giovanni’s, and it remained so until 1975. In 1980 it was briefly Casa Mia, and in 1982 it was the Black Stallion. The restaurant remained vacant until 1990 when it became the Chin Ping Restaurant. In 1995 it was sold again and became Lee’s Restaurant.
Before becoming a tourist destination in the later nineteenth century, this part of East Providence was an area of rural farmland with a small cluster of residents along the shore who made a living from fishing and digging clams, quahogs, and oysters (Rodericks, 15). During the1860s summer colonies were built in the lower part of town, known as Riverside, along the Narragansett River. Located on the rail line from Providence to Bristol, visitors came to enjoy the natural beauty of the coast and spend time at amusement parks such as Crescent Park, built in 1876. Between 1870-1890, Riverside became a major resort town with more than ten hotels (RI Pres. Comm. Report, 38). By the turn of the century, it had become more suburban as summer homes were converted to year-round use (RI Pres. Comm. Report, 4). Between 1903 and 1920 more roads were built, allowing for expansion outward from Riverside’s center (RI Comm. Report, 40). Bullock’s Point Ave was one of two main roads with commercial development, and as the use of automobiles became more widespread, this development increased. The 1920s saw the beginning of a decline in Riverside; two of three amusement parks had closed, the hotels were becoming run-down, and after Standard Oil built a storage facility and refinery on the river at the north end of the neighborhood the character of the area changed. The Depression and Hurricane of 1938 caused further decline. A post-WWII housing boom, largely spurred by development in
Riverside by the Ferland Construction Co, added many new single-family homes for middle class residents. By the 1960s, more apartments were being constructed compared to homes, and commercial development migrated to new shopping centers on the outskirts of Riverside (RI Pres. Comm. Report, 38-50). This began a period of economic decline that has continued to the present.
When 376 Bullock’s Point Ave. was first opened as DiMaio’s, and soon after as Giovanni’s, it was during the post-war boom. The decline of travel by rail and the popularization of the automobile created the need for more parking (Longstreth, loc. 658). Giovanni’s added a parking area to the south of the restaurant in the late 1960s. Since then, the configuration of the site has not changed. At this time, the urban core shifted as automobiles allowed for building on larger lots away from the town center with space for parking (Longstreth, loc. 658). This also reflects a change in spatial order as large parking lots were constructed on 3 or 4 sides of a building. The restaurant became secondary, and the parking was visibly dominant (Longstreth, loc. 677). The building itself has remained largely unchanged. Windows were replaced in 2007, and possibly at least once before then.
The major transition in ownership from an Italian family to one of Chinese ancestry in the 1990s reflects demographic changes occurring in many urban and suburban neighborhoods in the later twentieth century, as different ethnic groups moved into the area and established commercial interests. There was a section of downtown Providence known as Chinatown, and several restaurants were owned by Chinese residents including Mee Hong, operated by the Chin family from 1938-1979; it was possibly one of the earliest in Providence (Nathanson). Today, Lee’s Restaurant was well-known and liked; it was able to stay open through the COVID pandemic. It is currently listed for sale at $1,490.000.
Statement of Significance
376 Bullock’s Point Ave. does not appear eligible for listing in the National Register of Historic Places under Criteria A. It is not associated with an event, a series of events or activities, or patterns of this area’s development or in the broad pattern of history. There is some slight association with the context of Ethnic Identities and Experiences because of the ownership of this building primarily as an Italian restaurant in the 1950’s, 60’s, and 70’s, and then as a Chinese restaurant from the 1990’s onwards. However, it is not part of a larger ethnic context within Riverside of either Italian or Chinese-owned businesses or other organizations.
376 Bullock’s Point Ave. does not appear eligible for listing in the National Register of Historic Places under Criteria B. It is not associated with the life of any significant person.
376 Bullock’s Point Ave. does not appear eligible for listing in the National Register of Historic Places under Criteria C. It not a distinctive form characteristic of a type, period, or method of construction. It does not represent the work of a master, and it lacks high artistic value. It does not represent a significant and distinguishable entity whose components lack individual distinction. It is an unremarkable single story family restaurant with a large parking lot, common and typical across the country from the 1950’s onwards.
376 Bullock’s Point Ave. does not appear eligible for listing in the National Register of Historic Places under Criteria D. It is unlikely to yield information important in prehistory or history.
The property lacks sufficient integrity to convey significance. While it is in the original location, modifications, and alterations, especially to windows and to the rear of the building, have changed the character of the building. There is nothing significant about the design or workmanship, and it has no association with any important events or people.
Bibliography and/or References
"Clock Top." East Providence Historical Society., accessed Oct 25, 2021, https://ephist.org/showcase/clock-top/
The East Providence Directory 1913. Providence, R.I.: Sampson & Murdock Company.
"Providence Historical Aerial Maps." Providence Historical Aerial Viewer., accessed Nov. 10, 2021, https://www.arcgis.com/apps/webappviewer/index.html?id=b1b3a4a4c66847a8b767cde262 64246e.
Everts and Richards. "Everts and Richards Map of East Providence, 1985." Historic Map Works., accessed Dec. 6, 2021, http://www.historicmapworks.com/Map/US/10145/Pages%20144%20and%20145%20%20 %20East%20Providence%20Town/Providence%20County%201895/Rhode%20Island/.
Hopkins, G. M. "Plate 23. Part of East Providence, Providence Co. 1882." David Rumsey Map Collection., accessed Dec. 6, 2021, https://www.davidrumsey.com/luna/servlet/detail/RUMSEY~8~1~266849~90041404:Plate23 Part-of-East-Providence,?sort=Pub_List_No_InitialSort%2CPub_Date%2CPub_List_No%2CSeries_No&qvq=w4s:/ where%2FEast%2BProvidence%2B%252528R.I.%252529;q:east%20providence;sort:Pub_ List_No_InitialSort%2CPub_Date%2CPub_List_No%2CSeries_No;lc:RUMSEY~8~1&mi =10&trs=14
Longstreth, Richard. 2000. The Buildings of Maine Street: A Guide to American Commercial Architecture. New York: AltaMira Press.
McAlester, Virginia Savage, and Lee McAlester. 2015. A Field Guide to American Houses (Revised). New York: Knopf.
Nathanson, Morris. "Chinese Restaurants of the Past." Art in Ruins., accessed Dec. 12, 2021, https://artinruins.com/property/chinese-restaurants/
Remick Bruce. 2020. Living in Riverside : First 80 Years, 1870 to 1950 Self-published.
Rhode Island Historical Preservation Commission, and Richard W. Longstreth. 1976 . East Providence, Rhode Island. Statewide Preservation Report, P-Ep-1. Providence: Commission.
Richard's Map Company. "Plate 013 from Providence Metropolitan District 1917 Vo. 2 - Ten Miles from Providence, Rhode Island." Historic Map Works., accessed Dec. 6, 2021, http://www.historicmapworks.com/Map/US/28995/Plate+013/Providence+Metropolitan+Di strict+1917+Vol.+2+-+Ten+Miles+from+Providence/Rhode+Island/.
Rodericks, Bob. "Jan 2014 East Providence Reporter by Dick Georgia - Issuu.", accessed Nov 15, 2021, https://issuu.com/reportertoday/docs/current__ep_2a22b789d41c38.
Figures
Fig. 1
Fig. 2 Lee’s Restaurant, 2021
Fig. 3 Sanborn Map, 1920-21
Fig. 4 Aerial photo, 1939
Fig. 5 Sanborn map, 1956
Fig. 6 Aerial photo, 1962
Rhode Island Historical Preservation & Heritage Commission HISTORIC PROPERTY DATA FORM
TOWN East Providence VILLAGE Riverside
ADDRESS 27 Burnside Ave
NAME(s) St. Mark’s Episcopal Church Rectory
PLAT/LOT 312/ 11/ 002/ 00/2
PROPERTY TYPE Bld Str Obj Site
STATUS
USES: Select terms from National Register table CURRENT Single dwelling HISTORIC
STORIES 1.5 ROOF(s) Gable
MATERIALS: Select terms from National Register table ROOF Asphalt Shingle WALL Vinyl Siding
FOUNDATION Brick OTHER
WINDOWS 6/1 double hung sash, 1/1 double hung sash, Vinyl replacements
INTEGRITY Excellent Good X Fair Poor Destroyed
PROPERTY COMPONENTS: List & number in order of importance. Include the primary component of the resource as number 1 Component Type Code Count Component Type Code Count
Original Construction Ca. 1900 Sanborn map
Porch removal Unknown Sanborn map
ARCHITECTURE: If more than one, list & number in order of importance TYPE Residential STYLE(s) No Style
SURVEYOR Alyssa Bailey DATE 9/23/21 REVIEWER
Use reverse for comments, history, and bibliography
DATE
Historical Narrative
27 Burnside Avenue is a residential property on the south side of Burnside Avenue between Pawtucket Avenue and Smith Street. In the early twentieth century 27 Burnside Ave was occupied by a series of owners who worked as housekeepers, plumbers and railroad clerks.1 In 1965, St. Mark’s Episcopal Church purchased the property for use as a pastoral residence.
Evaluation of Significance
27 Burnside Avenue does not appear eligible for the National Register of Historic Places under Criterion A as it is not associate with any significant events or patterns of events in Riverside or East Providence.
27 Burnside is not significant under Criterion B as it is not associated with any person significant in the history of Riverside or East Providence.
The property does appear eligible under Criterion C. Sidehall dwellings such as this are common architectural types in the area, but this property has been substantially altered with porch removal, additions, and materials replacement.
The property does not appear eligible under Criterion D, as there is no indication it has the potential to yield important information about history or prehistory.
The property retains integrity of location but the setting around the building has changed with surrounding structures being renovated or entirely demolished in the past thirty years. Along with this, the character of the home is no longer relative to the original building as the design, materials, and workmanship are not indicative of a turn of twentieth century residential property. Lastly the feeling of this building does not reflect any historical connections to the property itself or the surrounding area.
Sources
“Historic Resources of East Providence, Rhode Island: Partial Inventory, Historic and Architectural Resources.” National Register of Historic Places Inventory‐Nomination Form.
East Providence 1956. ProQuest, Digital Sanborn Maps, 1867‐1970. https://digitalsanbornmaps‐proquest‐com.rwulib.idm.oclc.org/browse_maps/40/8059/39330/41214/558685?accountid=25133
Providence, 1920‐1921 Vol. 6, 1921. ProQuest, Digital Sanborn Maps, 1867‐1970. Pg. 57. https://digitalsanbornmaps‐proquest‐com.rwulib.idm.oclc.org/browse_maps/40/8075/39395/41291/561518?accountid=25133.
1 US Census, 1900‐1940; East Providence City Directories 1900‐1940.
Figure 1: 1900 Sanborn Map showing 27 Burnside Avenue. Map From: Providence, 1920‐191889‐1900, Vol 2, 1900. Sheet 192. Library of Congress, https://www.loc.gov/resource/g3774pm.g3774pm_g08099190002/?sp=105&r=‐0.098,‐0.08,1.581,0.539,0.
Figure 2: 1921 Sanborn Map showing 27 Burnside Avenue. Map From: Providence, 1920‐1921 Vol. 6, 1921. ProQuest, Digital Sanborn Maps, 1867‐1970. Pg. 57.
Figure 3: 1956 Sanborn map showing the 27 Burnside Residence, northeast of St. Mark’s Episcopal Church. Map From: East Providence 1956. ProQuest, Digital Sanborn Maps, 1867‐1970. Pg. 57.
Rhode Island Historical Preservation & Heritage Commission HISTORIC PROPERTY DATA FORM
TOWN East Providence VILLAGE Riverside
ADDRESS 10 Lincoln Avenue PLAT/LOT 312/13/002
NAME(s) Old Riverside Post Office
PROPERTY TYPE Bld OWNERSHIP Priv
STATUS NHL NR DOE CDOE Elig Indiv Dist C NC
DISTRICT
USES: Select terms from National Register table CURRENT Business HISTORIC Post Office
SITING: SETBACK 0 ft LOT SIZE 3050 sq ft
STORIES 1 ROOF(s) Flat
MATERIALS: Select terms from National Register table
ROOF Other WALL Brick
FOUNDATION Not visible OTHER
WINDOWS (1) Two-light fixed sash vinyl (2) One-over-one double hung sash vinyl
ALTERATIONS: PORCH WINDOWS
INTEGRITY X Excellent Good Fair Poor Destroyed
PROPERTY
ARCHITECTURE: If more than one, list & number in order of importance TYPE One Part Commercial STYLE(s) None
SURVEYOR Jon Stark-Sachs DATE 9/28/21
REVIEWER
DATE Use reverse for comments, history, and bibliography
HISTORIC NARRATIVE
The Post Office at 10 Lincoln Avenue is the first dedicated post office building constructed in the village of Riverside in East Providence, Rhode Island. From the mid-nineteenth century into the first decade of the twentieth, Riverside was primarily a recreation destination for urban dwellers in southern New England.1 During this period a variety of resorts, hotels, and eventually amusement parks were built and frequented by visitors.2 Although some year-round residences were built after the area was platted beginning in the 1870’s, most smallscale development consisted of summer vacation cottages.3 In the latter part of the century and into the next more permanent residential dwellings were constructed and many of the cottages were winterized for year-round use.4 In the first decade of the twentieth century Riverside reached the high-water mark in its period as a resort destination, with the three major amusement parks of Crescent Park, Boyden Heights, and Vanity Fair all operating.5 With the closure of Vanity Fair in 1909 and the physical and moral decay of Riverside’s numerous hotels and resorts in the following decades, the village began a new trajectory to become a solidly residential neighborhood.6
10 Lincoln Avenue was constructed circa 1909 in response to pressures from responding to the rise in mail service during the peak summer months.7 Previously, the post office had been housed in the nearby grocery store of F.E. Crumb, who also served as the postmaster.8 The lack of a dedicated postmaster and the increasing demand to service mail to the various hotels and resorts populating Riverside at this time meant that it was “impossible to handle the mails [sic] at rush times in the proper manner.”9 The first decade of the twentieth century corresponded with the crest in popularity of the hotels, resorts, and amusement parks built in Riverside throughout the late nineteenth century, and the need for mail service reflected the bustling vacation economy. The Riverside Post office became a branch of the larger Providence post office in 1908 and pay raises were promised to the postmaster and his clerks, with Crumb appearing to dedicate his full attention to the role.10
The design and construction of post offices during the period from 1900-1915 was overseen by the Supervising Architect of the U.S. Treasury Department.11 Rather than having certain design guidelines, the Treasury Department treated each building as a singular design, but often employing the “Beaux-Arts and NeoClassical traditions.”12 This period saw the use of fine materials and lasting buildings even if they were relatively modest due to sometimes less prominent locales13 After 1915, post office buildings, particularly for small towns, were fitted into more rigid building formulas that utilized only minimal stylistic flair and largely utilized uniform floorplans14 The “Class D” building for the smallest qualifying communities would use mostly brick and little stone.15
The modest, one-story brick building built at 10 Lincoln Ave. was of markedly different construction than the one- and two-story wood framed buildings surrounding it, but this material was likely attractive after the devastating fire that had consumed the buildings on the block in 1905.16 Crumb’s store and the post office
1 Richard Longstreth, East Providence, Rhode Island Statewide Preservation Report P-EP-1 (Providence, R.I.: Rhode Island Historical Preservation Commission, 1976), 34–36.
2 Ibid.
3 Ibid. at 36.
4 Ibid. at 38.
5 Ibid. at 40.
6 Ibid.
7 Bruce Remick, Living in Riverside: First 80 Years, 1870 to 1950 (n.p. 2021), 42–43
8 “Expect Better Mail Service,” Providence Journal, Aug. 15, 1907, 11.
9 Ibid.
10 “Wages Raised at Post Office,” Providence Journal, July 14, 1908, 7.
11 United States Post Office, History of Post Office Construction 1900-1940 (1982).
12 Ibid. at 5.
13 Ibid.
14 Ibid. at 8–10.
15 Ibid. at 10.
16 “Blaze at Riverside Burned $25,000 Worth of Property,” July 2, 1905, 1.
housed inside were some of the worst affected by the blaze.17 While many of the commercial buildings were rebuilt, it appears that the building formerly on the site, a bakery owned by John Cook that was only damaged by the water used to douse the flames,18 was demolished to make room for the post office building.19 The design of the post office was near the shift in post office construction around 1915 but could be justified under either framework. The building is modest and made of brick with only stone sills and lintels, but its orientation was also unique to its placement on the curve of Lincoln Avenue as it approaches Bullock’s Point from the west.
The post office at 10 Lincoln Avenue continued to serve the community until a new post office was constructed in 1946 across Riverside Square at 3708 Pawtucket Avenue.20 The building sat vacant for a time21 until it was occupied by the Silver Service Company, a business specializing in jewelry manufacturing and repair, by 1955.22 The new use of the building reflected the change in Riverside’s economic and social base away from the resorts and hotels from the nineteenth and early twentieth centuries to a more light industry focused district. The Silver Service Co. continued to occupy the building until the 1980s when the building was once again vacant. The building currently houses the Vicmir & Sons HVAC company.
BIBLIOGRAPHY
Conforti, Joseph. Our Heritage: A History of East Providence. White Plains, NY: Monarch Publishing, 1976.
East Providence City Directories, 1901-1930. Boston: Sampson, Murdock & Co.
East Providence City Directories, 1956-75. Boston: R.L. Polk & Co.
“Expect Better Mail Service.” Providence Journal, Aug. 15, 1907, 11.
Longstreth, Richard. East Providence, Rhode Island Statewide Preservation Report P-EP-1. Providence, R.I.: Rhode Island Historical Preservation Commission, 1976.
Remick, Bruce. Living in Riverside First 80 Years 1870 to 1950. n.p., 2021.
“Wages Raised at Post Office.” Providence Journal, July 14, 1908, 7.
United States Post Office. History of Post Office Construction 1900-1940. 1982.
17 Ibid.
18 Ibid.
19 Compare Sanborn Map Company, Providence, Rhode Island (New York: Sanborn-Perris Map Co., 1900), Vol. 2, 192, with, Sanborn Map Company, Providence, Rhode Island (New York: Sanborn-Perris Map Co., 1921), Vol. 6, 56.
20 Remick, Living in Riverside, 43
21 1951 East Providence Directory (Boston: R.L. Polk & Co., 1950), 371.
22 1980 East Providence Directory (Boston: R.L. Polk & Co., 1980).
1. Panoramic map from 1894 showing the façade of the north-facing buildings along Lincoln Avenue prior to the construction of the post office at 10 Lincoln Avenue. One of the buildings, likely the one with the “A” inscribed atop, is the bakery that stood on the site prior to the post office’s construction. Riverside, Pleasant Bluff, Camp White & Crescent Park, R.I., (Boston: O.H. Bailey & Co. & Lithograph & Publishing, 1894.
2. 1901 Sanborn map showing 8 and 10 Lincoln Ave prior to the construction of the old post office showing the building as two-story wood frame building housing a bakery. Sanborn Map Company, Providence, Rhode Island (New York: Sanborn-Perris Map Co., 1900), Vol. 2, 192.
3. 1921 Sanborn showing the old post office in as a one-story brick structure in the configuration that we see today. The address was not included here. Sanborn Map Company, Providence, Rhode Island (New York: SanbornPerris Map Co., 1921), Vol. 6, 56.
4. Western portion of the façade of the old post office at 10 Lincoln Ave, circa 1920. Bruce Remick, Living in Riverside: First 80 Years 1870 to 1950 (n.p., 2021), 43.
5. 1956 Sanborn shows that the building is now “Electro Plating.” Sanborn Map Company, Providence, Rhode Island (New York: Sanborn-Perris Map Co., 1956) Vol. 6, 56
STATEMENT OF SIGNIFICANCE
The post office building at 10 Lincoln Avenue likely qualifies under Criterion A for its association with the key period of Riverside’s development into its current residential composition from its early resort history, with connections to both eras. 10 Lincoln Avenue is the first dedicated post office building constructed in the village of Riverside in East Providence, Rhode Island. The modest, single-story brick building was built circa 1909 in response to the influx of post that overwhelmed the previously part-time Riverside postmaster. The post office building coincides with the zenith of Riverside’s resort era and the subsequent shift of the village into a year-round residential community into the early part of the twentieth century. Indeed, no other extant resource demonstrates a connection to this period of Riverside’s development to the same level, most other public buildings surrounding Riverside square from this period or prior have undergone significant alteration of their materials and corresponding integrity. The period of significance for this building is between 1909 and 1947, when the building ceased service as the Riverside branch of the post office.
The post office retains sufficient integrity to convey its significance. The building exhibits integrity of materials, workmanship, location, and design. Two noticeable alterations may interfere with these physical aspects of the building: the replacement of the windows on one of the primary facades to vinyl sliding windows and a small brick addition at the back of the structure. The addition, however, is only noticeable on close inspection due to a slight difference in brick color and the use of brick lintels and sills on the windows, rather than stone, but these are not easily visible from the public way. Overall, these physical changes do not diminish from the building’s ability to convey its significance as an early public building. Indeed, the lintel above the door still displays the words “Post Office.” The importance of the location at a curve in Lincoln Avenue to the building’s design remains clear due to the unique, bifurcated façade.
The overall feeling of the building is that of a modest, early public structure and it maintains its local association to that history. The setting is somewhat problematic, as the adjacent lot to the east has been cleared for a parking lot, no longer reflecting the historic density of the area, and the surrounding buildings are either infill or sport non-historic material alternations. Nonetheless, the post office’s other aspects of integrity are sufficient to effectively convey its historic significance.
Rhode Island Historical Preservation & Heritage Commission HISTORIC PROPERTY DATA FORM
TOWN East Providence VILLAGE Riverside
ADDRESS 24 Monroe Ave
NAME(s) The Lincoln Bar
PLAT/LOT 312/08/006
PROPERTY TYPE Bld OWNERSHIP Priv
STATUS NHL NR DOE CDOE Elig Indiv Dist C NC NR DISTRICT
USES: Select terms from National Register table
CURRENT Commerce/Trade:Restaurant HISTORIC Commerce/Trade: Restaurant
SITING:
STORIES 1 ROOF(s) Gable
MATERIALS: Select terms from National Register table ROOF Asphalt WALL Brick
FOUNDATION Not visible OTHER
WINDOWS (1) metal-framed fixed windows
ALTERATIONS:
INTEGRITY
Original Construction Ca. 1943 Map Sandborn Map Company
Alteration; extension 1974 News Paper Providence Journal
ARCHITECTURE: If more than one, list & number in order of importance
TYPE 1-part commercial block STYLE(s) None
SURVEYOR Brianna Jordan DATE 12/2021 REVIEWER
DATABASE ID#
DATE
HISTORIC NARRATIVE AND CONTEXT
The first half of the nineteenth century designated Riverside as a destination for wealthy travelers who sought relaxation away from city life.1 By the latter half of the nineteenth century Riverside developed into a busy resort area populated mostly with small summer vacation cottages and luxury resort and hotels.2 By the late 1890s Riverside is said to have had the largest concentration of summer residences on Narragansett Bay.3 There were a multitude of amusement parks, like Crescent Park and Boyden Heights.4 The middle class’s expansion into Riverside was aided with by the establishment of the Providence and Bristol Company Railroad constructed in the mid-1850s.5 The railroad aided the ease of access in and out of Riverside. By the turn of the twentieth century Riverside began to transition into a year-round suburban neighborhood, with both construction of new houses and changing the summer cottages to permanent use.6 Riverside’s new commercial, civic, and institutional activity centered around the Riverside Square and the Riverside Passenger depot.7 Historically, Riverside square was a dense commercial sector that built up to accommodate the needs of vacationers and then eventually, suburban residents. Small, free -standing businesses like groceries, barbershops, auto shops, leisure sites and bakeries were present at the beginning and middle of the twentieth century catering to the needs of the expanding neighborhood populace.8
24 Monroe Ave is an irregular one-story brick commercial building on the corner of Monroe Avenue. There seems to have been a possible house on the same location between 1929 and 1937. Julia F. Hicks is listed at this address between 1930 and 19339, then to a Joseph E. Fournier from 1937 to 1943.10 However, there is no building shown on the 1920 Sanborn Map of Riverside. When the building does appear on the 1950 Sanborn map, it is listed as a “shop” (figure 2). The building has a build circa date of 1949, when it was listed as “Walter A. Dewolfe Liquors.”11 The Lincoln Bar was incorporated in 1955.12 The bar was granted a license to sell liquor shortly thereafter.13 There were very few established taverns in the Riverside square area when viewing the 1920/1950 overlay Sandborn map (figure 2). It is very likely that 24 Monroe Avenue is one of the only neighborhood establishments that exclusively sold liquor as its main business model.
In 1970, Walter B. Norton and his wife, Apolonia are listed as the owners of the bar. Walter would go on to own the bar for a total period of twenty-nine years before his death in 1984.16 The Norton’s seemed to have applied for variances in 1974 to extend the structure, which is noticeable on the back of the building, indicating a
1 Richard Longstreth, East Providence, Rhode Island Statewide Preservation Report (Providence: Rhode Island Historical Preservation Commission, 1976), 34.
2 Longstreth, East Providence Preservation report, 34-36.
3 Longstreth, East Providence Preservation report, 38.
4 Longstreth, East Providence Preservation report, 39-40.
5 Bruce Remick, Rhode Island: Living in Riverside first 80 years, 1870 to 1950 (Rhode Island: n.p., 2021), 50
6 Longstreth, East Providence Preservation report, 38.
7 Ibid.
8 See Sanborn Map Company, "Sanborn Fire Insurance Maps", East Providence, Providence County, Rhode Island, 1920, New York: Sanborn Map Company, 1921. https://digitalsanbornmaps-proquestcom.rwulib.idm.oclc.org/browse_maps/40/8075/39395/41291/561517?accountid=25133
9 East Providence, R.I., City Directory, (R.L. Polk and Co., 1929); East Providence, R.I., City Directory, (R.L. Polk and Co.,1933).
10 Ibid. at 1937); East Providence, R.I., City Directory, (R.L. Polk and Co., 1943).
11 Ibid. at 1949
12 Rhode Island Department of State, “The Lincoln Bar and Grille Inc., 1955”, accessed on Dec 12, 2021. https://business.sos.ri.gov/CorpWeb/CorpSearch/CorpSummary.aspx?FEIN=000022532&SEARCH_TYPE=1
13 “Dewolfe Transfer to Lincoln Bar Inc”, The Providence Journal, July 2, 1955
14 “East Bay Bike Path History”, Trail Link by Rails to Trails Conservancy, accessed on Dec. 12, 2021. https://www.traillink.com/trail-history/east-bay-bike-path/
15 Longstreth, East Providence Preservation report, 50.
16“Bar Owner Found Dead in His Car”, The Providence Journal, March 15, 1984.
change (figure 8).17 Around 1975 the Lincoln Bar changed its name to the Lincoln Men’s Tavern. The name change never seemed to alter its reputation. There is very little secondary source information for some of the local lore. However, a news article from 1977 seems to paint the bar as a working-class establishment that highlighted Riverside’s ongoing economic struggle. “Unemployment has been cruel to Riverside, a predominantly lower-middle class section of East Providence.”18 The Lincoln Bar seemed to provide a space, “to get away from the wife and the kids and the problems that lurk outside the door.”19
The complexity of the workingman’s bar should not be overlooked. The twentieth century saw the commercial and consumer revolution as all classes of people quested for leisure time.20 It was (and still is) a social touch point that played a large part of in the social, political, and economic aspects of life.21 The Lincoln bar’s long history as a neighborhood tavern shows the need for such a space.
17“Lincoln Bar building variance”, The Providence Journal, Sept. 13, 1974.
18 Bill Reynolds, “Hanging in at the old hangout”, The Providence Sunday Journal, Feb. 6, 1977, 195
19 Ibid,
20 Howard P. Chudacoff, The Age of the Bacchelor: Creating an American Subculture (New Jersey: Prinston University Press, 1999), 107.
21 Jon M. Kingsdale, “The ‘Poor Man’s Club’: Social Functions of the Urban Working-Class Saloon”, American Quarterly, 25, No. 4 (Oct. 1973), 476.
Figure 1: 1899 Sanborn Map showing 24 Monroe Avenue lot.
Figure 2: 1920/1950 overlay Sanborn Map showing 24 Monroe Avenue.
Figure 3: 1956 Sanborn Map showing 24 Monroe Avenue.
Figure 4. Current footprint of 24 Monroe Avenue.
STATEMENT OF SIGNIFICANCE
Context
24 Monroe Avenue is a brick, one story, one-part commercial block with an asymmetrical roof line. It is a structure is associated with the working-class nature of Riverside, East Providence in the mid to late twentieth century. 24 Monroe Avenue is linked to the decline in economic and social flourish of the early twentieth century. Like many other neighborhoods, the automobile, loss of the railroad line and suburban development efforts hurt the once vibrant historic core, particularly the Riverside Square area which it faces. The building is not associated with any events or broad patterns of events significant in the history of the Riverside area or East Providence.
Criteria Evaluation
Criterion A
24 Monroe Avenue does not appear to be eligible for listing in the National Register under Criterion A for its association with the wane of Post-World War II boom and the distress of urban renewal and loss of transportation. The working-class lineage of the neighborhood can be traced through the bar but there is no striking quality which would make 24 Monroe Avenue an important illustration of these trends.
Criterion B
24 Monroe Avenue does not appear to be eligible for listing in the National Register under Criterion B as having any association with individuals who have contributed to local or national history. 24 Monroe Avenue is not associated with any significant individual which can be identified with the property and there is nothing to illustrate that was an important achievement in history made at 24 Monroe.
Criterion C
24 Monroe Avenue does not appear to be eligible for listing in the National Register under Criterion C has having any association with a (1) distinctive characteristic of a type, period, or method of construction, or (2) the work of a master, or (3) possess high artistic value. 24 Monroe Avenue is a brick, one-part commercial block that does not show any noteworthy characteristics that would display a definitive type, period or particular method of construction. The parapet roof feature is not significant. There is no trace that 24 Monroe Avenue had a specific architect that designed or artisan who constructed it. Lastly, 24 Monroe Avenue has very little artistic value in its visual characteristics and does not possess high artistic value.
Criterion D
24 Monroe Avenue does not appear to possess important information potential that must have had information to contribute to the understanding of human history or pre-history and does not apply to 24 Monroe Avenue.
Aspects of Integrity
24 Monroe Avenue has high integrity of location, design, setting, workmanship, material, feeling and, association. The location of the structure has not changed since its approximate build date. The design of the structure seems to have been altered but this change did not affect the structure’s ability within its commercial function. The setting of 24 Monroe Avenue has changed very little as Riverside Square and the area around 24 Monroe has not been alter in a significant way since the mid-twentieth century. The workmanship of the brick does not appear to be altered. The material of 24 Monroe Avenue, by all indications, has not changed from its period of construction. 24 Monroe Avenue has integrity of material thus the feeling and association of the structure has also remained intact.
It is the opinion of this statement of significance that 24 Monroe Avenue has its integrity intact to display its context in wider historical trends but the structure itself is not significant enough to merit its inclusion on the National Register.
BIBLIOGRAPHY
“Bar Owner Found Dead in His Car”. The Providence Journal, March 15, 1984.
Chudacoff, Howard P. The Age of the Bachelor: Creating an American Subculture (New Jersey: Prinston University Press, 1999).
“Dewolfe Transfer to Lincoln Bar Inc”. The Providence Journal. July 2, 1955.
“East Bay Bike Path History”. Trail Link by Rails to Trails Conservancy. accessed on Dec. 12, 2021. https://www.traillink.com/trail-history/east-bay-bike-path/ East Providence, R.I., City Directory. (R.L. Polk and Co. 1921).
Kingsdale, Jon M. “The ‘Poor Man’s Club’: Social Functions of the Urban Working-Class Saloon”. American Quarterly, 25, No. 4 (Oct. 1973), 476.
“Lincoln Bar building Variance”. The Providence Journal, Sept. 13, 1974.
Reynolds, Bill. “Hanging in at the old hangout”. The Providence Sunday Journal, Feb. 6, 1977. Rhode Island Department of State. “The Lincoln Bar and Grille Inc., 1955”. Accessed on Dec 12, 2021. https://business.sos.ri.gov/CorpWeb/CorpSearch/CorpSummary.aspx?FEIN=000022532&SEARCH_TY PE=1
Richard Longstreth. East Providence, Rhode Island Statewide Preservation Report. (Providence: Rhode Island Historical Preservation Commission, 1976).
FIGURES
Figure 1: 1899 Sanborn Map showing 24 Monroe Avenue lot. Sanborn Map Company. "Sanborn Fire Insurance Maps". East Providence. Providence County. Rhode Island. 1899-1900. New York. Sandborn Map Company.1921.
Figure 2: 1920/1950 Overlay Sanborn Map showing 24 Monroe Avenue. Sanborn Map Company. "Sanborn Fire Insurance Maps". East Providence. Providence County. Rhode Island. 1920/1950. New York. Sanborn Map Company.1921.
Figure 3: 1956 Sanborn map showing 24 Monroe Avenue. Sanborn Map Company. "Sanborn Fire Insurance Maps". East Providence. Providence County. Rhode Island. 1920/1950. New York. Sanborn Map Company.1921.
Figure 4: Current footprint of 24 Monroe Avenue. “Birdseye view of 24 Monroe Ave”. Microsoft Bing Maps. (Accessed October 25, 2021).
Rhode Island Historical Preservation & Heritage Commission HISTORIC PROPERTY DATA FORM
TOWN East Providence VILLAGE Riverside
ADDRESS 3708 Pawtucket Avenue PLAT/LOT 312/10/001
NAME(s) Second Riverside Branch Post Office
PROPERTY TYPE Bld OWNERSHIP Priv
STATUS NHL NR DOE CDOE Elig Indiv Dist C NC NR DISTRICT
USES: Select terms from National Register table CURRENT Business HISTORIC Post Office
SITING: SETBACK
STORIES 1 ROOF(s) Flat
MATERIALS: Select terms from National Register table ROOF Rubber WALL Brick
FOUNDATION Concrete OTHER
WINDOWS (1) Six by five fixed sash windows (2) Four by five fixed sash aluminum window
ALTERATIONS: PORCH WINDOWS
INTEGRITY X Excellent Good Fair Poor Destroyed PROPERTY
ARCHITECTURE: If more than one, list & number in order of importance TYPE One Part Commercial STYLE(s) None
SURVEYOR Jonathan Stark-Sachs DATE 9/28/21
Use reverse for comments, history, and bibliography
REVIEWER
DATE
HISTORIC NARRATIVE
3708 Pawtucket Avenue is the second building constructed to house the Riverside branch of the post office after closure of the post office at 10 Lincoln Avenue in 1946.1The first dedicated post office building at 10 Lincoln Avenue corresponded with the zenith of Riverside’s resort era and residential boom that followed. As the community grew so did the need for mail service. The demand eventually outgrew the modest post office building and necessitated a larger structure.
By the 1940s the construction of post office buildings in small towns was largely standardized.2 The design, however, did fit within a small but noticeable pattern of development in the late 1940s and early 50s along Pawtucket Avenue including the Riverside Square Building. This was a period of growth in Riverside and East Providence generally following the relative stagnant 1930s and war years.3
Constructed of concrete cinderblock and fronted with brick, the new post office building afforded the Riverside branch more space and room for a parking lot in the automobile era. This building served as the Riverside post office until 1967 when the current post office opened on Willet Avenue.4 Soon after the closure of the post office, Roman Tile & Terrazzo Company purchased and occupied the building.5 The Roman Tile Company occupies to building still today.
BIBLIOGRAPHY
“Council Rebuffs Zoning Shift,” Providence Journal, Nov. 9, 1968, 44.
Richard Longstreth, East Providence, Rhode Island Statewide Preservation Report P-EP-1 (Providence, R.I.: Rhode Island Historical Preservation Commission, 1976), 48.
Remick, Bruce. Living in Riverside First 80 Years 1870 to 1950. n.p., 2021.
United States Post Office. History of Post Office Construction 1900-1940. 1982.
1 Bruce Remick, Living in Riverside: First 80 Years, 1870 to 1950 (n.p. 2021), 44.
2 United States Post Office, History of Post Office Construction 1900-1940 (1982), 25.
3 Richard Longstreth, East Providence, Rhode Island Statewide Preservation Report P-EP-1 (Providence, R.I.: Rhode Island Historical Preservation Commission, 1976), 48
4 Remick, Living in Riverside, 44.
5 “Council Rebuffs Zoning Shift,” Providence Journal, Nov. 9, 1968, 44.
1951 Sanborn showing the new construction of the second post office as a one story, brick-faced cinder block building. Lists the address as 3704 Pawtucket Avenue. Sanborn Map Company, Providence, Rhode Island (New York: Sanborn-Perris Map Co., 1951) Vol. 6, 56
STATEMENT OF SIGNIFICANCE
3708 Pawtucket Avenue is the second building to house the Riverside post office after the closure of the original post office building at 10 Lincoln Avenue, across Riverside square. The building, constructed in 1947, is of concrete block construction with a brick façade. The building is representative of a period where Riverside Square and the larger village were becoming increasingly more automobile centric. The building’s tenure as the Riverside post office was relatively brief, lasting only until 1967 when the current post office was built on Willet Avenue. While there were some significant developments happening in Riverside during this period, notably the buildup of various rental apartments in the area, there is no significant connection with the post office. There is no argument for significance for association with a pattern of events under Criterion A. There are also no significant persons that are associated with the property that qualify under Criterion B, even at the local level. Neither does the building itself reveal any significant design aspects that qualify it under Criterion C: the structure is almost entirely pragmatic outside of some small decorative elements on the brick façade. There is no indication of information potential under Criterion D. In summary, the building is unlikely to be eligible for the National Register.
Despite the lack of distinction, the building maintains its integrity. It is in the same location, the same workmanship, is in the same setting, maintains the same design, feeling, materials, and association. There is no indication of any noticeable alterations to the physical makeup of the building or its place in the neighborhood.
Rhode Island Historical Preservation & Heritage Commission HISTORIC PROPERTY DATA FORM
TOWN East Providence VILLAGE Riverside
ADDRESS 3734 Pawtucket Avenue PLAT/LOT 312/11/001
NAME(s) Riverside Square Building
PROPERTY TYPE Bld OWNERSHIP Priv
STATUS NHL NR DOE CDOE Elig Indiv Dist C NC
NR DISTRICT
USES: Select terms from National Register table CURRENT Business HISTORIC Business
SITING: SETBACK 0 ft LOT SIZE 9150 sq ft
STORIES 1 ROOF(s) Flat
MATERIALS: Select terms from National Register table ROOF Rubber WALL (1) Brick (2) Formstone
FOUNDATION Not Visible OTHER
DATABASE ID#
WINDOWS (1) Two-light fixed sash aluminum strorefront windows (2) One-light fixed sash aluminum storefront window
ALTERATIONS: PORCH
INTEGRITY Excellent X Good Fair Poor Destroyed
PROPERTY COMPONENTS: List &
Building
Original Construction 1956 ca Map
ARCHITECTURE: If more than one, list & number in order of importance TYPE One Part Commercial STYLE(s) None
SURVEYOR Jonathan Stark-Sachs DATE 9/28/21
Use reverse for comments, history, and bibliography
REVIEWER
DATE
HISTORIC NARRATIVE
The building Riverside Square Building at 3734 Pawtucket Avenue was built circa 1956.1 The property itself, however, had already been a longstanding part of Riverside Square’s business landscape. The village of Riverside, first known as Cedar Grove, sprung up in the decades after the establishment of the Providence, Warren and Bristol Railroad in the 1850s and the subsequent construction of a passenger depot.2 In the ensuing decades a number of resorts, hotels, shore dinner halls, and businesses were built to accommodate visitors from urban area who came to Riverside seeking shoreline recreation.3 In 1871 General Lysander Flagg and a group of Pawtucket businessmen founded the Riverside Land Company, purchased several farms around Riverside and began subdividing residential plats, the first of these being the titular Cedar Grove west of the depot toward the shoreline.4 Over the ensuing decades these plats began to fill in first with summer cottages and, increasingly, year-round residences.5
This lot, being directly to the east of the passenger depot was an opportune site to place a business to serve visitors on their way to and from their various recreation destinations. By 1894, a panoramic map of Riverside shows two buildings on the site, both small one-story buildings north of a larger two-story building.6 The Sanborn fire insurance map from 1901 identifies the buildings as both being a shops of wood frame construction (Figures 1 & 2).7
Around the turn of the twentieth century, Riverside’s place as a recreation destination reached its highwater mark, but the glamour began to recede with the closure of two major amusement parks, Vanity Fair and Boyden Heights, at the end of the 1910s.8 In these early decades of the century, road construction and the increasingly widespread of the automobile allowed for more personal recreation trips away from rail lines and cut into Riverside’s summer visitors and eventually put an end to its resort era.9 Even as resort visitors were beginning to go elsewhere Riverside began a transition into a solidly residential trolley and car suburb.10 Throughout this period the same small single-story shops continued to sit on the property.11
In the early 1950’s the two wood frame shops were demolished and the single-story, brick-fronted cinderblock Riverside Square building was constructed at 3734 Pawtucket Avenue.12 The first tenant was the Damiano Barbershop, owned by Anthony Damiano, and the other business space was occupied by Hope Cleansers, a cleaning business, by 1961.13 After 1954, Damiano began expanding his businesses, purchasing the adjacent property from Dolly Babcock and opening a Firestone Tire Center.14 The automobile had taken over Riverside just as it had throughout America, and nothing was more emblematic than the dominance of Firestone in the commercial buildings at the corner of Pawtucket and Turner Avenues. By 1975 Damiano owned the entire complex of businesses, with the previous home of Hope Cleansers being relegated to overflow from the Firestone.15 The Firestone continued to operate into the 1980’s when Damiano sold the property.16
1 Compare Sanborn Map Company, Providence, Rhode Island (New York: Sanborn-Perris Map Co., 1951) Vol. 6, 56, with, Sanborn Map Company, Providence, Rhode Island (New York: Sanborn-Perris Map Co., 1956) Vol. 6, 56.
2 Bruce Remick, Living in Riverside: First 80 Years, 1870 to 1950 (n.p. 2021), 38–40.
3 Richard Longstreth, East Providence, Rhode Island Statewide Preservation Report P-EP-1 (Providence, R.I.: Rhode Island Historical Preservation Commission, 1976), 34–36.
4 Ibid. at 36.
5 Ibid. at 38.
6 Riverside, Pleasant Bluff, Camp White & Crescent Park, R.I., (Boston: O.H. Bailey & Co. Lithograph & Publishing, 1894).
7 Sanborn Map Company, Providence, Rhode Island (New York: Sanborn-Perris Map Co., 1900), Vol. 2, 192.
8 Longstreth, East Providence, Rhode Island Statewide Preservation Report, 40.
9 Joseph Conforti, Our Heritage: A History of East Providence (White Plains, NY: Monarch Publishing, 1976), 141–44
10 Ibid
11 Sanborn Map Company, Providence, Rhode Island (New York: Sanborn-Perris Map Co., 1900), Vol. 2, 192.
12 Compare Sanborn Map Company, Providence, Rhode Island (New York: Sanborn-Perris Map Co., 1951) Vol. 6, 56, with, Sanborn Map Company, Providence, Rhode Island (New York: Sanborn-Perris Map Co., 1956) Vol. 6, 56.
13 1956 East Providence Directory (Boston: R.L. Polk, 1956); 1961 East Providence Directory (Boston: R.L. Polk, 1961)
14 1956 East Providence Directory
15 1975 East Providence Directory (Boston: R.L. Polk, 1975)
16 Providence County, Rhode Island, Land Records Book 0627: 0331, Anthony Damiano & Stanley MacPhail, 7 June 1986, East Providence Clerks Office, City of East Providence.
BIBLIOGRPHY
Conforti, Joseph. Our Heritage: A History of East Providence. White Plains, NY: Monarch Publishing, 1976.
East Providence City Directories, 1901-1930. Boston: Sampson, Murdock & Co.
East Providence City Directories, 1956-75. Boston: R.L. Polk & Co.
Longstreth, Richard. East Providence, Rhode Island Statewide Preservation Report P-EP-1. Providence, R.I.: Rhode Island Historical Preservation Commission, 1976.
Remick, Bruce. Living in Riverside First 80 Years 1870 to 1950. n.p., 2021.
FIGURES
1. The businesses at the corner of Pawtucket and Turner Avenues on the 1894 panoramic map of Riverside. Riverside, Pleasant Bluff, Camp White & Crescent Park, R.I., (Boston: O.H. Bailey & Co. Lithograph & Publishing, 1894).
2. 1901 Sanborn showing the businesses at the corner of Pawtucket Ave. and Turner Ave. 3734 Pawtucket Avenue, listed here as 3723 & 3734, are both listed as single-story shops, one a cobbler and the other a dress maker. Sanborn Map Company, Providence, Rhode Island (New York: Sanborn-Perris Map Co., 1900), Vol. 2, 192.
3 1921 Sanborn. All shops appear to be the same as in 1900 although they no longer indicate a specific use Sanborn Map Company, Providence, Rhode Island (New York: Sanborn-Perris Map Co., 1921), Vol. 6, 56.
4. 1951 Sanborn still showing the two small shops where the Riverside Square building is today Sanborn Map Company, Providence, Rhode Island (New York: Sanborn-Perris Map Co., 1951) Vol. 6, 56
5. 1956 Sanborn now shows that the two small wood-frame shops are replaced with abutting one-story cinderblock shops that meet the Rhodes Pizza building at the property line. This is likely to be the Riverside Square Building. Sanborn Map Company, Providence, Rhode Island (New York: Sanborn-Perris Map Co., 1956) Vol. 6, 56
STATEMENT OF SIGNIFICANCE
3734 Pawtucket Avenue was built in the 1950s; a modern commercial building and replaced two smaller historic wood-frame buildings. The modest, single-story building of concrete block and brick, with Formstone trim, has housed a few businesses since its construction. The building is an interesting example of a modern building that still adheres to a historic mode of sidewalk fronting commercial space. The building also corresponds to the period of latest historic development in Riverside Square during the mid-twentieth century The building, Other examples from this period are the similarly-styled addition to the then Babcock’s Dry Goods Store, now Rhodes Pizza, adjacent to the building and the Dari-Bee ice cream stand. This period of development in Riverside Square, however, lacks a connection to any significant pattern of events in Riverside that would qualify it under Criterion A. There were no significant shifts in the development or living patterns that differentiate the square from any other community during this period, as development largely began to shift outside of Riverside Square. There is also no person associated with the property that would qualify the property for inclusion of Criterion B. The design of the building is mostly functional, likely not eligible for inclusion under Criterion C.
Were the building considered eligible, it may very well retain significant integrity. It retains its location, pressed against the adjacent commercial buildings at 3736 Pawtucket Avenue, and its overall feeling, setting, and association. It also remains true to its original modest design. There do, however, appear to be some alterations to the materials and workmanship by replacing some of the brick with a faux stone façade on one storefront. The building still maintains its title above the overhand of “Riverside Square Bldg.”
Rhode Island Historical Preservation & Heritage Commission HISTORIC PROPERTY DATA FORM
TOWN East Providence VILLAGE Riverside
ADDRESS 3736 Pawtucket Ave
NAME(s) Babcock’s Dry Goods
PLAT/LOT 312/11/001
PROPERTY TYPE Bld OWNERSHIP Priv
STATUS NHL NR DOE CDOE Elig Indiv Dist C NC
USES: Select terms from National Register table
CURRENT (1) Restaurant (2) multiple family dwelling
SITING: SETBACK
STORIES 2 ROOF(s) Other - Pointed End Gable
MATERIALS: Select terms from National Register table
ROOF Asphalt WALL (1) Brick (2) Vinyl
FOUNDATION Not Visible OTHER
ALTERATIONS: PORCH
COMPONENTS:
WINDOWS (1) Single light fixed-sash aluminum storefront windows (2) Six-over-one double hung vinyl windows
Original Construction 1890 ca Map
Purchase 1937 Deed Everett Yeo
Purchase 1939 Deed Arthur & Dorilda Babcock
Addition 1950 ca Map/Style Arthur & Dorilda Babcock
Purchase 1954 Deed Anthony Damiano
Purchase 1986 Deed Stanley P. Macphail
ARCHITECTURE: If more than one, list & number in order of importance TYPE Two Part Commercial STYLE(s) None DATABASE ID#
SURVEYOR Jonathan Stark-Sachs DATE 09/28/21
Use reverse for comments, history, and bibliography
HISTORICAL NARRATIVE
REVIEWER
DATE
Form version 200702rev161101
The building at 3736 Pawtucket Avenue dates to the earliest period of development in Riverside Square, circa 1890. The village of Riverside, first known as Cedar Grove, sprung up in the decades after the establishment of the Providence, Warren and Bristol Railroad in the 1850s and the subsequent construction of a passenger depot.1 In the ensuing decades a number of resorts, hotels, shore dinner halls, and businesses were built to accommodate visitors from urban area who came to Riverside seeking shoreline recreation.2 In 1871 General Lysander Flagg and a group of Pawtucket businessmen founded the Riverside Land Company, purchased several farms around Riverside and began subdividing residential plats, the first of these being the titular Cedar Grove west of the depot toward the shoreline.3 Over the ensuing decades these plats began to fill in first with summer cottages and, increasingly, year-round residences.4
The property was platted by Cushing and Company in 1871, being lot number 264 of the Lewis Farm Villa Lots.5 This lot, being directly to the east of the passenger depot was an opportune site to place a business to serve visitors on their way to and from their various recreation destinations. By 1894, a panoramic map of Riverside shows two buildings on the site, a one story and a two-story structure, which appears to be the same historic structure forming the core of 3736 Pawtucket Avenue today.6 The Sanborn fire insurance map from 1901 identifies the building as being a shop of wood frame construction, likely with residences on the second floor (Figures 1 & 2).7
Around the turn of the twentieth century, Riverside’s place as a recreation destination reached its highwater mark, but the glamour began to recede with the closure of two major amusement parks, Vanity Fair and Boyden Heights, at the end of the 1910s.8 In these early decades of the century, road construction and the increasingly widespread of the automobile allowed for more personal recreation trips away from rail lines and cut into Riverside’s summer visitors and eventually put an end to its resort era.9 Even as resort visitors were beginning to go elsewhere Riverside began a transition into a solidly residential trolley and car suburb.10
From 1901 at the latest, 3736 Pawtucket Avenue housed Mr. and Mrs. George Brown, the husband a blacksmith and the wife a furniture seller, both of whom could have served seasonal and permanent residents.11 Mrs. Brown’s furniture store was a long-running business, likely successful due to the period of residential growth in Riverside during the first two decades of the twentieth century.12 It occupied the building until the late 1920’s.13 After Mrs. Brown vacated, the building housed a fishmonger into the early 1930’s14 when it was briefly occupied by club for the Narragansett Fisherman’s Association.15 Seeking to take advantage of the end of Prohibition, the group sought a beer license for their club, but their petition was summarily denied by the still anti-liquor East Providence town council.16
1 Bruce Remick, Living in Riverside: First 80 Years, 1870 to 1950 (n.p. 2021), 38–40.
2 Richard Longstreth, East Providence, Rhode Island Statewide Preservation Report P-EP-1 (Providence, R.I.: Rhode Island Historical Preservation Commission, 1976), 34–36.
3 Ibid. at 36.
4 Ibid. at 38.
5 Providence County, Rhode Island, Land Records Book 117: 486, Everett & Katherine Yeo & Arthur G. & Dorilda Babcock, 8 September 1939, East Providence Clerks Office, City of East Providence.
6 Riverside, Pleasant Bluff, Camp White & Crescent Park, R.I., (Boston: O.H. Bailey & Co. Lithograph & Publishing, 1894).
7 Sanborn Map Company, Providence, Rhode Island (New York: Sanborn-Perris Map Co., 1900), Vol. 2, 192.
8 Longstreth, East Providence, Rhode Island Statewide Preservation Report, 40.
9 Joseph Conforti, Our Heritage: A History of East Providence (White Plains, NY: Monarch Publishing, 1976), 141–44
10 Ibid
11 1901 East Providence Directory (Boston: Sampson, Murdock & Co., 1901).
12 Conforti, Our Heritage, 136–38.
13 1925 East Providence Directory (Boston: Sampson, Murdock & Co., 1925).
14 1930 East Providence Directory (Boston: Sampson, Murdock & Co., 1930).
15 “Hearing on Licenses,” Providence Journal, June 1, 1933, 16.
16 Ibid.
In 1935 the building was occupied by the Babcock’s Dry Goods Store, owned and operated by Arthur G. and Dorilda Babcock.17 Arthur and “Dolly” had been stage performers but owned a home in Riverside.18 After the couple retired from the stage they opened their popular store and moved into the apartments above.19 Prior to 1951, the Babcocks expanded the building by adding a brick-fronted cinderblock projection on the first story, surrounding the historic wood-frame building, which is still visible behind.20 Babcock’s continued to operate until 1954, when Dolly sold the building after her husband’s death the prior year.21
The buyer was Anthony Damiano, who owned a barbershop adjacent to Babcock’s, and he soon retrofitted the store into a Firestone Tire Center.22 The automobile had taken over Riverside just as it had throughout America, and nothing was more emblematic than the dominance of Firestone in the commercial buildings at the corner of Pawtucket and Turner Avenues. By 1975 Damiano owned the entire complex of businesses at the corner of Pawtucket and Turner Avenues, being relegated to overflow from the Firestone.23 The Firestone continued to operate into the 1980’s when Damiano sold the property.24
17 Remick, Living in Riverside, 54.
18 Ibid.
19 Ibid.
20 Sanborn Map Company, Providence, Rhode Island (New York: Sanborn-Perris Map Co., 1951) Vol. 6, 56.
21 Providence County, Rhode Island, Land Records Book 158: 225, Dorilda Babcock & Anthony Damiano, 6 June 1954, East Providence Clerks Office, City of East Providence; Remick, Living in Riverside, 54.
22 Ibid
23 1975 East Providence Directory (Boston: R.L. Polk, 1975)
24 Providence County, Rhode Island, Land Records Book 0627: 0331, Anthony Damiano & Stanley MacPhail, 7 June 1986, East Providence Clerks Office, City of East Providence.
BIBLIOGRPHY
Conforti, Joseph. Our Heritage: A History of East Providence. White Plains, NY: Monarch Publishing, 1976.
East Providence City Directories, 1901-1930. Boston: Sampson, Murdock & Co.
East Providence City Directories, 1956-75. Boston: R.L. Polk & Co.
“Hearing on Licenses.” Providence Journal, June 1, 1933, 16
Longstreth, Richard. East Providence, Rhode Island Statewide Preservation Report P-EP-1. Providence, R.I.: Rhode Island Historical Preservation Commission, 1976.
Remick, Bruce. Living in Riverside First 80 Years 1870 to 1950. n.p., 2021.
Rhode Island. Providence County. Land Records 1864–Present. Land Records Office, East Providence.
FIGURES
1. The businesses at the corner of Pawtucket and Turner Avenues on the 1894 panoramic map of Riverside. Riverside, Pleasant Bluff, Camp White & Crescent Park, R.I., (Boston: O.H. Bailey & Co. Lithograph & Publishing, 1894).
2. 1901 Sanborn showing the businesses at the corner of Pawtucket Ave. and Turner Ave. 3736 Pawtucket Avenue, listed here as 3732, is listed as a two-story furniture store. Sanborn Map Company, Providence, Rhode Island (New York: Sanborn-Perris Map Co., 1900), Vol. 2, 192.
3. 1921 Sanborn. All shops appear to be the same as in 1900 although there is a shed that has been removed from the northern lot. Some of the surrounding properties have changed. Sanborn Map Company, Providence, Rhode Island (New York: Sanborn-Perris Map Co., 1921), Vol. 6, 56.
4. 1951 Sanborn still showing the two small shops where the Riverside Square building is today. However, the one-story building on the southern lot is now gone and the two-story building now has an irregularly shaped, one-story cinderblock portion hugging the property line as well as a projection in the rear. This appears to be the Rhodes Pizza building as it is today. The two-story portion based on these maps is the same building that has been there since 1900 at the latest. Sanborn Map Company, Providence, Rhode Island (New York: Sanborn-Perris Map Co., 1956) Vol. 6, 56
5. Babcock’s Dry Good Store sometime in the early 1950’s. after the addition Courtesy of East Providence Planning Department.
STATEMENT OF SIGNIFICANCE
3736 Pawtucket Avenue has an interesting trajectory, being part of the development of business in Riverside Square for over a century. A succession of businesses including a furniture store, a fish market, a dry goods store, a Firestone Tire Center, and, finally, a pizza restaurant has been housed in the building, witnessing a long period of change in Riverside Square. Despite being an integral part of the commercial development of the area, the building is unlikely to qualify as being historically significant under the National Register criteria. The building, while longstanding, is not strongly associated with any particular period of significance or pattern of events to qualify under Criterion A. The businesses that were housed in the building were ostensibly successful and their owners important members of the community, but none significant enough to qualify this associated building under Criterion B. The historic portion of the building is not documented in detail, but is unlikely to have been notable for its design; considering the incompatible addition during the mid-century there is no argument under Criterion C.
The building also lacks integrity due to the incompatible addition. During the 1950s the owners wrapped a brick-fronted, concrete block addition around the historic wood frame portion that dates back prior to 1894. While within the historic period, the addition creates an odd visage of a wood-frame second floor jutting above the brick façade, making the original architectural character largely unintelligible. Each of the portions of the building might hold greater integrity to exhibit these two eras if separated, but together the overall integrity is affected to a large degree. Additionally, the remaining historic portions appear to have been clad in vinyl, disrupting the materials and workmanship of the building. While the building remains in the same location, much of the setting around the building have changed since the early period. These various changes disrupt the overall feeling and association that the property may have.

Rhode Island Historical Preservation & Heritage Commission HISTORIC PROPERTY DATA FORM
TOWN East Providence VILLAGE Riverside
DATABASE ID#
ADDRESS Turner Ave, Bullocks Point Ave, Pawtucket Ave PLAT/LOT 312/12/17/00/02
NAME(s) Riverside World War II Memorial
PROPERTY TYPE Bld Str Obj Site OWNERSHIP Priv Loc St Fed
STATUS NHL NR DOE CDOE Elig Indiv Dist C NC
NR DISTRICT
USES: Select terms from National Register table CURRENT Monument HISTORIC Monument
SITING:
STORIES ROOF(s)
MATERIALS: Select terms from National Register table ROOF WALL
FOUNDATION OTHER Granite
WINDOWS ALTERATIONS: PORCH
INTEGRITY
COMPONENTS:
Original Construction 1950 Inscription Moved 2011 News report
ARCHITECTURE: If more than one, list & number in order of importance TYPE
SURVEYOR Alyssa Bailey DATE 9/23/21 REVIEWER DATE
Use reverse for comments, history, and bibliography Form version 200702rev161101
Historical Narrative
The World War II Memorial located at the corner of Bullocks Point Avenue, Turner Avenue and Pawtucket Avenue is a memorial to Riverside veterans who fought in the war from all branches of the armed services. The memorial was originally located at the corner of Ailanthus Avenue and Pawtucket Avenue, but was moved in 2011. The move was made in part because of graffiti and skateboarding activity causing damage to the monument.1 Another reason for moving the memorial was increased visibility with the Riverside Square location, adjacent to the East Bay Bike Path.
The memorial, which was dedicated on August 14, 1950, reads “Glory to them that died in this great cause in grateful tribute to the men and women of Riverside who served in World War II. Erected by the Citizens of Riverside. Dedicated August 14, 1950.”
Evaluation of Significance
The World War Two Memorial does not appear eligible for the National Register of Historic Places. It is associated with a period of commemoration for those who served in World War II (Criterion A), but is not associated with any individual important in history (Criterion B). The monument is typical of memorial designs from the period, but is not the work of a master and does not hold significant artistic value (Criterion C). The memorial does not appear eligible under Criterion D. While it does hold information about those who served in the war in Riverside, this information is available elsewhere in archival sources.
The memorial also does not meet the requirements of Criterion Consideration F for commemorative properties as it does not possess significance based of its own value, and instead possesses significance due to the value of the event being memorialized.
Sources
“East Providence 1956.” ProQuest, Digital Sanborn Maps, 1867‐1970. https://digitalsanbornmaps ‐proquest‐com.rwulib.idm.oclc.org/browse_maps/40/8059/39330/41214/558685?accountid=25133
“Historic Resources of East Providence, Rhode Island: Partial Inventory, historic and Architectural Resources.,” National Register of Historic Places Inventory – Nomination form. https://bridges.rwu.edu/access/content/group/3fda2df5‐280c‐4e16‐a144‐593a5ac95147/Online%20Research%20Resources/eapr_historic‐resources‐of‐east‐providence.pdf
“National Register Bulletin 15: How to Apply the National Register Criteria for Evaluation,” National Park Service, 1990. https://bridges.rwu.edu/access/content/group/3fda2df5‐280c‐4e16‐a144‐
1 Raymond Beltran, “Riverside War Memorial Monument Gets Fresh Start,” Patch: 2011.
593a5ac95147/Week%2012%20‐%20Identifying%20and%20Developing%20Historic%20Contexts/https%3A__www.nps.go202008 25174930.URL
Raymond Beltran, “Riverside War Memorial Monument Gets Fresh Start,” Patch, 2011. https://patch.com/rhode‐island/eastprovidence/riverside‐wwii‐memorial‐monument‐gets‐fresh‐start
Rhode Island Historical Preservation Commission, and Richard W Longstreth. “East Providence, Rhode Island. Statewide Preservation Report,” P‐Ep‐1. Providence: Commission, 1976. https://bridges.rwu.edu/access/content/group/3fda2df5‐280c‐4e16‐a144‐
593a5ac95147/Online%20Research%20Resources/Secondary%20Sources/https%3A__preservat i20210819123733.URL
Rhode Island Historical Preservation & Heritage Commission HISTORIC PROPERTY DATA FORM
TOWN East Providence VILLAGE Riverside
ADDRESS 9 Turner Ave
NAME(s) Narragansett Engine Co. 2
PLAT/LOT 312/12/014/00
PROPERTY TYPE Building OWNERSHIP Private
STATUS
USES: Select terms from National Register table
CURRENT Domestic/single dwelling
SITING: SETBACK
STORIES 2 ROOF(s) Mansard
MATERIALS: Select terms from National Register table
ROOF Rubber WALL Vinyl
Government/fire station Trade/specialty store
FOUNDATION Brick OTHER Asphalt shingle (lower roof)
WINDOWS
Removal of bell tower and garage bay Unknown
Vinyl replacement Unk./recent
ARCHITECTURE: If more than one, list & number in order of importance TYPE Second Empire STYLE(s) Mansard
SURVEYOR Malcolm Wells DATE 9/23
REVIEWER DATE DATABASE ID#
HISTORICAL NARRATIVE
The building at 9 Turner Avenue (formerly 31 Turner) was originally constructed by the Town of East Providence in 1880, to be the home of the Narragansett Engine Company No. 2, the fire department in Riverside at the time, as well as the police (East Providence Tax Assessor). The town bought the parcel in 1879 from one William P. Allen who bought the parcel in 1872 from one John A. Adams (EP Land Records, 4/394, 16/103). The Narragansett Engine Company itself was formed in 1802 making this building the second used by this branch of the department (buildingsofnewengland). The station was the first built in Riverside as the village’s population grew and entered its resort era (Remick). After 28 years of successfully operating as the Riverside fire station, the department moved to a new building at 329 Bullocks Point Avenue (East Providence City Directory 1910). After the fire department left 9 Turner Avenue, the town sold the parcel and building to Francis G. Merewether and James J. Dunn who ran their contracti ng business from the former fire station (East Providence City Directory 1910). The duo specialized in plumbing and heating, as well as metalwork such as copper, tin, and sheet iron work which can be seen in this town directory advertisement from 1910. The two operated the business together for twenty years until Francis and his wife Margaret sold their ownership of the parcel to James in 1930 (EP Land Records, 111/210). The first floor was renovated to be a storefront at some point after the contracting partnership ended, removing the garage and bell tower used originally by the fire department. James owned the building until his passing in 1952 and the building was passed down to his son John P. Dunn (EP Land Records, 151/26). John kept the property until 1963, renting the upstairs apartment and renting to small businesses including Bob’s Barbershop and a senior help center (East Providence City Directory 1974, 1980) In 1963 John sold the parcel to the church across the street, St. Mark’s Episcopal (EP Land Records, 226/583). The church used the building for parish offices which can be seen in the 1967 East Providence directory. The church used the building for office space until 1985 when they sold the building to Marc and William Daquila, who started a chiropractor business on the first floor of the building (East Providence City Directory 1985-6). Along with the substantial physical changes earlier, at some point, the building was also fitted with wood shingle siding and the green and red paint job. The Daquila’s chiropractic office was the longest-lasting business to exist in 9 Turner Avenue, even being sold to the next generation of the family, James P. Daquila in 1998 (EP Land Records, 1362/0335). James ran the office until very recently, replacing the e ntire exterior of the building with new, primarily vinyl materials and painting it beige and white, removing a significant amount of the building’s historical character. After the renovations, James Daquila sold the building to Ting and Ben Chan who have not used the building for a business and it currently sits vacant (EP Land Records, 4312/56).
HISTORICAL IMAGES AND MAPS
This artwork shows 9 Turner Avenue in its first form as the Narragansett Number 2 Engine House. The work shows the dramatic change in the building’s architecture after it became mixed-use. At this time, the building had a bell tower, a stone chimney, a garage where the entrance/business is now, and red and white painted wood cladding. Source: Scanned from the East Providence City Planning Department.
A drawn panoramic map of Riverside from 1894. 9 Turner Avenue, in the form of the old firehouse, can be seen drawn in the bottom right corner of the map. Source: East Providence Planning Department.
Sanborn Map showing the plot, footprint, and uses. The numbers on the street (9,11,13) indicate the units in the building. The map shows the store on the first floor with two apartments on the second floor, as well as a bowling alley that once sat where the building’s parking lot is now. Source: 1956 Sanborn Fire Insurance map of East Providence (based on vol. 6 of the 1921 edition).
Shows the building before its vinyl renovation with its wood shingle first story and green and red paint style. Shows the first-floor chiropractic business that was previously in the building and a small shed addition. The general form of the building did not change during the cladding switch. Source: East Providence Tax Assessor database.
EVALUATION OF SIGNIFICANCE
9 Turner Avenue in Riverside, Rhode Island seems to be eligible for listing in the National Register of Historic Places under Criterion A, for its historical connection to the industrialization and advancements in technology, particularly automotive, throughout America after the turn of the twentieth century. As it was built in 1880 for the neighborhood’s fire and police departments, the original form of the building at 9 Turner Avenue was not designed to support the automobiles that would take over America in the decades to come. The original form of the building had one garage bay for the horse-drawn fire fighting carriage and a bell tower used by the Narragansett Engine Co. 2. This period in Riverside is when the village saw large population growth and tourism, as Cresent Park and the resort era were ushered in. With this population increase, the 9 Turner Avenue station was longer capable of supporting the village. Therefore, the historic significance of this building lies with its decline and downfall, followed by the creation of a new station at 329 Bullocks Point Avenue. Realizing the need for more garages and more space for the new technology, fire trucks, and growing departments, the department could no longer operate out of the Turner Ave building and had to move to a larger facility. The old station is a great example of the outdated fire stations that were built during this time directly before the rise of the automobile and the population growth in Riverside during this time.
While the current form of the building at 9 Turner Avenue has its original footprint, the massing, materials, and general historic integrity of the old fire station have been completely lost over time. The building no longer has the garage or bell tower used by the fire department which is certainly the largest loss of massing in the building’s history, removing the feature used by the fire department. 9 Turner Avenue has also been through a series of materials and paint jobs, but in the past few years, the wood siding was completely replaced with gray/beige vinyl, completely removing the historic integrity of the building. While the building at 9 Turner Avenue has a long history, serving as the pre-automobile fire department in Riverside for almost thirty years, the historical character and integrity of the building have been lost, disqualifying the building for National Register eligibility.
REFERENCES
“East Providence City Directories.” East Providence Town Library, Town of East Providence, Rhode Island, ser. 1910-1985, Sampson & Murdock Co. and R.L. Polk and Co.
“Land Evidence Records.” East Providence City Clerk, Town of East Providence, Rhode Island, https://countyfusion8.kofiletech.us/countyweb/loginDisplay.action?town=EastProvidenceRI&countyname=Tow nFusion.
“Tax Assessments.” East Providence Tax Assessor Database, Town of East Providence, Rhode Island, http://gis.vgsi.com/eastprovidenceri/.
“Digital Sanborn Maps 1867-1970.” ProQuest, Sanborn Map Company, https://search-proquestcom.rwulib.idm.oclc.org/eebo/advanced?accountid=25133.
“Pre-vinyl picture.” East Providence Tax Assessor Database, Town of East Providence, Rhode Island, http://gis.vgsi.com/eastprovidenceri/.
“Original building image.” East Providence Planning Department, Town of East Providence, Rhode Island
“Historic Panoramic Map.” East Providence Planning Department, Town of East Providence, Rhode Island
Remick, Bruce. Living in Riverside: First 80 Years, 1870 to 1950. N.p, n.p.
Buildings of New England. “Narragansett Engine Company #3 // 1846.” Buildings of New England, 29 May 2020, buildingsofnewengland.com/2020/06/05/narragansett-engine-company-3-1846/.
Rhode Island Historical Preservation & Heritage Commission HISTORIC PROPERTY DATA FORM
TOWN East Providence VILLAGE Riverside
ADDRESS 10 Turner Ave
NAME(s) St. Mark’s Episcopal Church
PLAT/LOT 312/11/002/00/
PROPERTY TYPE Bld Str Obj Site OWNERSHIP Priv Loc St Fed
STATUS NHL NR DOE CDOE Elig Indiv Dist C NC NR DISTRICT
USES: Select terms from National Register table
CURRENT Church HISTORIC Church
STORIES 1.5 ROOF(s) Gable
MATERIALS: Select terms from National Register table ROOF Asphalt Shingles WALL Brick
FOUNDATION Stone/Concrete OTHER
WINDOWS Casement, fixed
ALTERATIONS: PORCH
INTEGRITY X Excellent
PROPERTY COMPONENTS:
Building - Church B-C 1 Building – Rectory B-NC 1 EVENT DATE
ARCHITECTURE: If more than one, list & number in order of importance TYPE Building STYLE(s) Modern
SURVEYOR Alyssa Bailey
DATE 9/23/21
Use reverse for comments, history, and bibliography
REVIEWER
DATE
Historical Narrative
Saint Mark’s Episcopal Church, located at 10 Turner Avenue, is situated between Pawtucket Avenue and Smith Street. The 1.5‐story Modern style church was constructed in 1965 after the earlier church on the site (built in 1954) was damaged by fire.1
This is the third Episcopal church building on this site. St. Mark’s Episcopal Church was established Riverside in 1881 as the St. Marks Mission Church and the congregation initially leased a small school house for services.2 As Riverside became more desirable for visitation with summer homes and the establishment of Crescent Park, the population within the area grew rapidly. Commercial, civic, and institutional development adapted to the population growth. In 1884, the congregation purchased this site and constructed a church (Figure 1).3 The original church was completed in 1885. The establishment of St. Mark’s Episcopal Church was part of an expansion of the faith in the mid‐nineteenth century in Rhode Island. By 1890, the Episcopal landscape had grown to include over thirty‐fives parishes and 9,000 members.4 In Riverside, those who aligned with the faith were disinclined to attend the multi‐denominational Union Chapel, then the only Protestant house of worship in the area. Instead, they opted for meetings in homes fellow believers, conducted by the Rector of the St. John Episcopal Church in Barrington Rhode Island, until they could establish their own parish.5
The first St. Mark’s Episcopal Church would remain until 1954 when the church demolished it for a new building, completed in 1957. This church followed the general form of the earlier building, but expanded the overall footprint (Figures 3 and 4). East Providence and Riverside saw their largest expansion in growth from 1945 to 1970.6 With this expansion, institutions such as St. Mark’s Episcopal Church grew alongside. The 1957 church building would remain on the property for just under ten years. In January 1965, the church was damaged by fire and had to be rebuilt. The 1965 reconstruction is what stands on the site today. In 2012, St. Marks merged with St. Matthew’s Episcopal Church in Barrington due to financial hardship and leased the building to another congregation.
Evaluation of Significance
St Mark’s Episcopal Church is significance to the Riverside district under Criterion A because of its association with the growth and development of the district as well as the expansion of the Episcopalian religious institutions within the northeast, and within Rhode Island. St. Mark’s Episcopal Church was an expansion effort of the Episcopal church that began in Barrington, and with regional expansion to Riverside and East Providence in the latter half of the 19th
1 East Providence Historical Society (East Providence, R.I.). East Providence. Images of America. Pg.90
2 Conforti, Joseph. Our Heritage: A History of East Providence. Pg. 125.
3 Remick, Bruce. Rhode Island: Living in Riverside, First 80 Years 1870‐1950. Pg. 31.
4 “Records of the Episcopal Diocese of Rhode Island (Mss. Gr. 41).” Rhode Island Archival and Manuscript Collections Online. University of Rhode Island. Accessed December 3, 2021.
5 Conforti, Joseph. Our Heritage: A History of East Providence. Pg. 125
6 Historic Resources of East Providence Rhode Island: Partial Inventory, Historic and Architectural Resources. National Register of Historic Places. Department of the Interior: National Park Service. Pg. 66.
century. The parish and church’s significance continued into the twentieth century as it expanded in 1954 and was rebuilt in 1965.
St. Mark’s Episcopal Church does not appear eligible under Criterion B. The property is not associated with any identified person significant in the history of Riverside, the Episcopalian fiath, or East Providence.
St Mark’s appears eligible under Criterion C for as a well‐preserved example of mid‐century Modern ecclesiastical design.
St. Mark’s does not appear eligible Criterion D as it does not have the potential to yield information important in history or prehistory.
St. Mark’s Episcopal Church meets the requirements for Criterion Consideration A for religious properties. The Church is primarily significant for its architectural distinction, historical context and its association to the development and overall improvement to the Riverside district.
The church retains sufficient integrity of location, setting, design, materials, workmanship, feeling, and association to convey its significance. The building has had no identifiable alterations of note since the period of construction.
Sources
Conforti, Joseph. Our Heritage: A History of East Providence.
“East Providence 1956.” ProQuest, Digital Sanborn Maps, 1867‐1970. https://digitalsanbornmaps‐proquest‐com.rwulib.idm.oclc.org/browse_maps/40/8059/39330/41214/558685?accountid=251 33
“Providence, 1920‐1921 Vol. 6, 1921.” ProQuest, Digital Sanborn Maps, 1867‐1970.
Remick, Bruce. “Rhode Island: Living in Riverside, First 80 Years 1870‐1950.” Self‐published, 2020.
East Providence Historical Society (East Providence, R.I.). “East Providence.” Images of America.
“Records of the Episcopal Diocese of Rhode Island (Mss. Gr. 41).” Rhode Island Archival and Manuscript Collections Online. University of Rhode Island. Accessed December 3, 2021. https://www.riamco.org/render?eadid=US‐RUn‐msg41&view=biography
“Historic Resources of East Providence Rhode Island: Partial Inventory, Historic and Architectural Resources.” National Register of Historic Places Inventory – Nomination form. https://bridges.rwu.edu/access/content/group/3fda2df5‐280c‐4e16‐a144‐
593a5ac95147/Online%20Research%20Resources/eapr_historic‐resources‐of‐east‐providence.pdf
Figure 1: Eastward view of Turner Avenue and the original construction of St. Mark’s Episcopal Church, image is done at the turn of the century, in 1900. Source: Remick, Bruce. Rhode Island: Living in Riverside, First 80 Years 1870‐1950. Self‐published, 2020. Pg. 31.
Figure 2: Final rendition of the 1965 St. Mark’s Episcopal Church, that was constructed after the 1956 church was damaged by fire. Source: Remick, Bruce. Rhode Island: Living in Riverside, First 80 Years 1870‐1950 Self‐published, 2020. Pg. 32.
Figure 3: 1921 Sandborn map show highlighting the St. Mark’s Episcopal Church and its original construction that dates back to 1885. Source: Providence, 1920‐1921 Vol. 6, 1921. ProQuest, Digital Sanborn Maps, 1867‐1970. Pg. 57.
Figure 4: 1956 Sanborn Map with St. Mark’s Episcopal Church circled in red. Showcases the expansion of the church that was approved in 1954 and completed at the time the Map was drawn. Source: East Providence 1956. ProQuest, Digital Sanborn Maps, 1867‐1970. Pg. 57.
Rhode Island Historical Preservation & Heritage Commission HISTORIC PROPERTY DATA FORM
TOWN East Providence VILLAGE Riverside
ADDRESS 18 Turner Ave
PLAT/LOT 312/11/07/00/
NAME(s) St. Andrews Masonic Lodge No. 39 A.F. and A.M.
PROPERTY TYPE Bld Str Obj Site OWNERSHIP Priv Loc St Fed
STATUS NHL NR DOE CDOE Elig Indiv Dist C NC
NR DISTRICT
USES: Select terms from National Register table
CURRENT Meeting hall HISTORIC Meeting hall
SITING:
STORIES 2 ROOF(s) Flat
MATERIALS: Select terms from National Register table ROOF Rubber WALL Brick
FOUNDATION Concrete OTHER
WINDOWS One over one Vinyl double hung sash; arched transom
ALTERATIONS:
INTEGRITY Excellent Ⅹ Good Fair Poor Destroyed
PROPERTY COMPONENTS: List & number in order of importance. Include the primary component of the resource as number 1 Component Type Code Count Component Type Code Count Building B-C 1
Original Construction 1909 Lodge history Window replacement unknown
ARCHITECTURE: If more than one, list & number in order of importance TYPE STYLE(s) Classical Revival
SURVEYOR Alyssa Bailey DATE 9/23/21 REVIEWER
Use reverse for comments, history, and bibliography
DATE
Historical Narrative
The St. Andrews Lodge No. 39 A.F. and A.M. at 18 Turner Avenue was built in 1909 as the East Providence headquarters for the St. Andrews Lodge chapter of Freemasonry.1 Freemasonry had been steadily growing within East Providence by the early twentieth century. In 1909, the city already featured the Grand Order Lodge of Rhode Island on Taunton Avenue.
The St. Andrews Lodge was founded in Riverside in 1894 and originally had twenty‐one members. The fraternity met in local homes until constructing the lodge on Turner Avenue in 1909. According to a history of the lodge, “St Andrews Lodge No. 39 became a focal point of the community in Riverside and was considered to be one of the elite lodges in the Grand Jurisdiction of Rhode Island. During its history, St Andrews had well over 400 members and continued the proud Masonic tradition of being active in within the lives of its members and the community.”2 In 2020, the St. Andrews Lodge merged with Jenks Lodge No. 24 (originally founded in Central Falls) and the lodge and its members relocated to the lodge on Turner Ave.
The St. Andrews Lodge falls under the Adelphoi form of Freemasonry which focuses on small, local lodges where social ties among members may be stronger than among larger memberships in other lodges.3 The Adolphoi groups also focus on morals and philosophy and try and find purposes that best suit members’ duties to religion. Historically, this lodge has also been used by multiple Freemason chapters and affiliate groups including the Liberty Royal Arch Chapter, Loyalty Chapter Order of DeMolay, Order of Eastern Star Unity Chapter, Riverside Assembly with Rainbow for Girls, and Tall Cedars of Lebenon. The lodge also served as a community center of sorts in Riverside. The lodge held weekly teen dances held in the Temple building in the later twentieth century, for example.4
The St. Andrews Lodge is one of three Masonic lodges in East Providence, two of which located in Riverside.
Evaluation of Significance
St. Andrews Lodge No. 39 A.M. and F.M appears eligible for the National Register of Historic Places under Criterion A for its association with the development of Freemasonry in East Providence and the development of Riverside as a permanent residential community and streetcar suburb in the early twentieth century.5 The St. Andrews Lodge is one of three Masonic lodges in East Providence, two of which located in Riverside.
1 Remick, Bruce. Rhode Island: Living in Riverside, First 80 Years 1870‐1950. Pg. 46.
2 Jenks Lodge No. 24 F&AM, “About Jenks: Jenks Lodge History,” Jenks Lodge No. 24 F&AM, https://jenkslodge.com/jenks‐lodge‐history/.
3 Rugg, Henry Warren. History of Freemasonry in Rhode Island. United States: E. L. Freeman & son, state printer, 1895. Pg. 572.
4 Remick, Bruce. Rhode Island: Living in Riverside, First 80 Years 1870‐1950. Self‐published, 2020. Pg. 46.
5 Rugg, Henry Warren. History of Freemasonry in Rhode Island. United States: E. L. Freeman & son, state printer, 1895. Pg. 572.
St. Andrews Lodge No. 39 A.M. and F.M does not appear eligible under Criterion B as the lodge is not significantly associated with a person important in the history of East Riverside or Freemasonry.
St. Andrews Lodge No. 39 A.M. and F.M appears to be eligible under Criterion C as it as a well‐preserved example of Classical Revival architecture in Riverside and East Providence. Significant features include the peristyle porch, quoining, and wide frieze and cornice on the front elevation. The building also has the hallmarks of a Masonic fraternal lodge with interior auditorium space and fly space over the auditorium stage, as well as other meeting rooms. The building is the best developed example of Classical Revival in the Riverside neighborhood.
St. Andrews Lodge No. 39 A.M. and F.M does not appear eligible Criterion D as the property is unlikely to yield information important in history to building.
The lodge retains integrity of location, setting, feeling, association, design, materials, and workmanship. The building has had minimal alterations and remains in use as a Masonic lodge.
Sources
East Providence 1956. ProQuest, Digital Sanborn Maps, 1867‐1970. Pg. 57. https://digitalsanbornmaps‐proquest‐com.rwulib.idm.oclc.org/browse_maps/40/8059/39330/41214/558685?accountid=25133
Jenks Lodge No. 24 F&AM. “About Jenks: Jenks Lodge History,” Jenks Lodge No. 24 F&AM, https://jenkslodge.com/jenks ‐lodge‐history/
Moore, William D. “Masonic Temples: Freemasonry, Ritual Architecture, and Masculine Archetypes.” United States: University of Tennessee Press, 2006.
Remick, Bruce. “Rhode Island: Living in Riverside, First 80 Years 1870‐1950.” Self‐published, 2020.
Rugg, Henry Warren. “History of Freemasonry in Rhode Island.” United States: E. L. Freeman & son, state printer, 1895.
Technologies, Midfield, ed. “Lodge History.” Adelphoi Lodge #33, November 16, 2020. https://adelphoilodge.com/adelphoi‐lodge‐history/lodge‐history
Figure 1: Southeasterly view of St. Andrews Lodge No. 39 A.F. and A.M. and St. mark’s Episcopal Church dating from 1915/ Image From: Remick, Bruce. Rhode Island: Living in Riverside, First 80 Years 1870‐1950. Self‐published, 2020. Pg. 46.
2: Southwestern view of St. Andrews Lodge No. 39 A.F. and A.M, showcasing early onset activity circulating around the Masonic Hall. Image from: Remick, Bruce. Rhode Island: Living in Riverside, First 80 Years 1870‐1950. Self‐published, 2020. Pg. 46.
Figure
Figure 3: 1956 Sanborn Map with St. Andrews Lodge No. 39 A.F. and A.M. circled in red. Showcases the expansion of the church that was approved in 1954 and completed at the time the Map was drawn. Map From: East Providence 1956 ProQuest, Digital Sanborn Maps, 1867‐1970. Pg. 57.
Rhode Island Historical Preservation & Heritage Commission HISTORIC PROPERTY DATA FORM
TOWN VILLAGE
ADDRESS PLAT/LOT
NAME(s)
PROPERTY
STATUS NHL NR DOE CDOE Elig Indiv Dist C
SITING: SETBACK
STORIES ROOF(s)
MATERIALS:
WINDOWS
Photo
Notes for alterations from observations:
• There does not seem to be many alterations to the building
• Maybe the entrance doors but nothing huge sticks out to me
• Building is well kept up
Context Narrative
Located in Riverside, a neighborhood in the city of East Providence, Rhode Island is Saint Brendan’s Parish Complex. The Parish Complex is on both sides of Turner Avenue. The complex is comprised of four buildings. The Modern style, red brick Saint Brendan’s Roman Catholic Church, built in 1970. The church is on 49 Turner Avenue and anchors the complex at the southwest corner of Turner Avenue and Smith Street. Next to the church building is the 2-story, Modern style Saint Brendans Parochial School on 55 Turner Avenue, built in 1955. Across the street from the school is the former Saint Brendans Convent on 70 Turner Avenue, built in 1955. Next to the convent is the 2-story, brick Saint Brendans Rectory on 60 Turner Avenue, built around 1970. Located to the west of the complex is Riverside Square, a commercial district with residential dwellings in between. Surrounding the complex is mainly residential dwellings. All buildings in the complex are in good condition. Each building has very good integrity since there have been few alterations to the buildings since its original construction.
Historical Narrative
Before Saint Brendans began, Catholic residents of the area attended Sunday mass in Saint Joseph’s in Providence and Saint Mary’s in Warren.1 Saint Brendan’sParish began in the very late 1800s to serve the Catholic residents of the surrounding neighborhoods in Riverside. This made Saint Brendan’s one of the first Catholic churches in the neighborhood of Riverside. Around the same time as the parish began an amusement park opened in Riverside along the water, Crescent Park 2 The park attracted many tourists and families to the area during the summer months. The population and attraction grew quite quickly from tourism. This increased development and commercial demand for Riverside.3 Saint Brendan’s Mission began holding Mass at the Turner Avenue School, located on the corner of Turner Avenue and Smith Street (see Figure 1). Then two years later, Father John Harty who was a pastor of Sacred Heart Church, located on Taunton Avenue, asked Bishop Harkins for permission to purchase a land lot on Sprague Avenue in Riverside. When it was approved by Bishop Harkins, a mission chapel was built and named under the patronage of St. Brendan the Navigator.4 The chapel was a long, narrow building with olive-shaped windows, giving a Gothic style (see Figure 2).5 In the 1890s, Riverside’s recreational attractions drew in crowds from surrounding states.6 The surrounding town’s residents and Catholics on vacation began attending the Saint Brendan’s Mission Chapel.7 Around the time of The Depression, the resort era of the community began to fade away. Although, the population in Riverside slowly began to move from a summer community to a year-round suburban population. This is when the St. Brendan’s Mission Chapel on Sprague Avenue was too small of a building to hold the number of church members, due to the growing population.8 A new chapel was builton Turner Avenue on the lot where the current church stands today. The new chapel cost around $10,000 to complete. It was built with the finest
1 Rhode Island Historical Preservation Commission, and Richard W Longstreth. East Providence, Rhode Island. Statewide Preservation Report, P-Ep-1. Providence: Commission, 1976.
2 “Crescent Park | Artinruins,” September 11, 2020. https://artinruins.com/property/crescent-park/.
3 Longstreth, Rhode Island Historical Preservation, 38.
4 St. Brendan Church, 100 years, 5
5 Anness, Edna. “The Building with Three Lives.” East Providence Newspaper, East Providence HistoricalSociety, n.d.
6 Rhode Island Historical Preservation Commission, and Richard W. Longstreth. East Providence, Rhode Ilsnad. Statewide Preservation Report, P-Ep-1. Providence: Commission, 1976, 38.
7 Lofgren, Joe. “Chronology of Saint Luke's Parish.” REACH Newsletter. 2017.
8 St. Brendan Church, 100 years, 6.
hardwood on a solid brick, and stone foundation (see Figure 3).9 When the new church opened, the number of Catholics living in the neighborhood had increased just at the right time for this expansion.17 In 1909, the mission was able to be established as a parish. Bishop Harkins established St. Brendan Mission as a parish on April 29, 1909.18 The first pastor was Father Joseph E. Hughes, the previous assistant pastor of the Assumption Church in Providence.19 In 1913, Father Hughes began to purchase the surrounding parcels around the church, and in 1920 sold the old chapel on Sprague Avenue, which stands today as a day-care center.20 After Father Hughes passed away, Father John A. Toohey took over the church. The growing number of Catholics in the area increased. The newly built church needed more space to hold Mass for the increased number of Catholics. In 1932, an addition was added to the church, construction was done by William Noonan. The additions were on the rear and side of the church, and included flexible space to hold events, and expanded seating. But the main reason for the addition was to hold more residents for Mass. The enlarged church was rededicated on May 17, 1931, by Bishop William A.Hickey (see Figure 4).
As the parish grew, in 1932 Father Toohey purchased the lot adjacent to the parish’s property.10 This property had a cottage on it, which was a dwelling before but was renovated to become a Social Hall (see Figure 4). After years of wanting to open a parish school, it was finally made possible when the church leased the old Turner Avenue School from the town of East Providence to serve as the first Saint Brendan School, in 1943 (see Figure 5 and 6). The renovated cottage, also known as the Social Space Hall, became a temporary convent when the school opened. The parish acquired more land on Turner Avenue, preparing to build its school. When Father McCabe was replaced by Rev. William Tierney, raised the funds to build a new school. In May of 1955, construction for the school began, also a new convent across the street from the school was planned to be built, on 70 Turner Avenue. The school opened in 1956, and the new convent was finished in 1955.11 In July of1957, a fire broke out in the church. As the firefighters were fighting the fire, Lt. Robert McPherson went to the church’s basement to make sure nobody was trapped, and he ended up getting trapped and dying as a result.12 With the church building being demolished, the newly built school’s large gymnasium became the parish for the church. All of the non-damaged furniture, and items that were not destroyed, transferred to the school gymnasium next door (see Figure 7).13 According to the aerial photograph,the parish had built clubhouses behind the Social Hall to gain some new spaces.
Between 1945 to 1970 were East Providence’s greatest years of growth, this growth contributed to many local businesses being built and population increasing.14 This increase in population needed a designated church building. Eight years after the fire, in 1965 plans were announced to build a new rectory and church. The new church would be built on the same parcel as the previous church, and the rectory next to the newly built convent. The church was going to cost $630,000 and was designed by Edward P. Dennings, a local architect.15 The new rectory wascompleted in 1968, and the church was opened in 1969. The newly built church was able to seat over 900 people, this accommodated the large population in
9 St. Brendan Church, 100 years, 6.
10 St. Brendan Church, 100 years, 7.
11 St. Brendan Church, 100 years, 10.
12 St. Brendan Church, 100 years, 10.
13 St. Brendan Church, 100 years, 10.
14 Rhode Island Historical Preservation Commission, and Richard W Longstreth, 1976.
15 St. Brendan Church, 100 years, 11.
Riverside.16 The parish now had a large amount of debt due to the new construction. Around the 1970s, there was a large decrease in the number of religious schools, the parish had to hire lay teachers due to the rising costs and the large number of debt the parish had. The parish began to charge tuition for students, Father Caddisy was trying to balance both the increasing expense of school and pay off the debt.17 With decreasing numbers of children and attendance to the church, around 1990 the parish decided to sell the former convent (70 Turner Avenue) to contribute to the debt and repair the school and church buildings. 18 In 2000, the parish raised $800,000 by a campaign for needed repairs. The huge success of the campaign allowed the parish to purchase two houses on Dorr Avenue, and provide more parking spaces for the parish complex.19 After Saint Brendan’s School successfullycompleted the accreditation process from the New England Association of Secondary Schools and Colleges, the enrolment grew. 20 The school enrolment began to increase until 2006 when the national financial crisis occurred in the United States. This is when the school began to have an increased downfall, families chose to leave the school due to money issues. The school managed to stay open even though the decline, but in 2009 it officially closed. 21
As of 2021, three out of the four original buildings are owned by the parish. The three buildings currently owned by the parish are the 1950s rectory, the 1950s Parochial school, and the 1970s Catholic Church. Currently, Saint Brendan’s Church remains open, and the rectory too. The former school building is currently being leased or rented out to a local food bank. The former convent that was sold is currently a “Head Start Program”, which is described as “Head Start is a US Dept of Health and Human Services program for early childhood education, health, nutrition for low-income children and their families” (see Figure 8).22 The church today is still the focus ofthe parish complex.
Statement of Significance
The Saint Brendan’s Parish Complex appears to be eligible for listing in the National Register of Historic Places under Criterion A for its association with the growth and development of the Catholic religious institutions in Riverside in the late eighteenth-century and early nineteenth-century. As the first Catholic parish in Riverside, Saint Brendan’s grew specifically from Riverside’s population growth.23 The population growth was driven by amusement parks and tourism in the area. The neighborhood institution expanded to accommodate the needs of Riverside’s growing population. The Parish has been on Turner avenue since the 1890s. Through the church burning down, and the decline of the parish, it reflects a rich history through growth and decline that corresponds with the surrounding neighborhood. The complex today is a fine example of a small-scale complex erected in Rhode Island’s smaller villages. Although the current church on the lot today is not the original church that was built on the lot, it holds great physical and historical integrity and is a fine example of Modern architecture.
16 St. Brendan Church, 100 years, 11.
17 St. Brendan Church, 100 years, 12.
18 St. Brendan Church, 100 years, 10. East ProvidenceCity Directory. Southfield, MI: R.L. POLK & CO., PUBLISHERS, 1995.
19 St. Brendan Church, 100 years, 14.
20 St. Brendan Church, 100 years, 14.
21 St. Brendan Church, 100 years, 14.
22 “Head Start Programs.” Head Start Programs, Early Head Start Programs and Information, n.d. https://www.headstartprogram.us/.
23 St. Brendan Church, a Community of Faith and Services for 100 Years. Providence, RI, 2009, 2. https://stbren.com/history
The Saint Brendan’s Parish Complex appears to not be eligible for listing in the National Register of Historic Places under Criterion B. Although many individuals are associated with the parish, there is a lack of individuals who could be considered “significant in our past”. The architect of the building was Edward P. Dennings, he was an American architect from East Providence. 24 He was a well-known architect of public buildings and churches in the area during the 1960s and 1970s.25 He graduated from the University of Notre Dame in 1950 and became a partner with James Kurtz. Later established his firm in, Edward P. Dennings & Associates. 26
The Saint Brendan’s Parish Complex appears eligible for listing in the National Register of Historic Places under Criterion C, under Architecture. The church is a fine example of 1970s Modern Catholic liturgical architecture characterized by the fan shaped knave, offset freestanding bell tower, articulated structural masonry, and large expanses of stained glass. The church has not been altered on the exterior since its completion, showing the true architectural characteristics of the building. Although the current church on the lot today is not the original church that was built in the early 1900s, it holds great physical, historical integrity and is a fine example of Modern architecture.
The Saint Brendan’s Parish Complex appears to not be eligible for listing in the National Register of Historic Places under Criteria D
The Saint Brendan’s Church on 49 Turner Avenue holds excellent evidence of integrity. The location and setting of the building are very important to the Parish’s rich history in Riverside. The Saint Brendan’s Mission started having Mass on Turner Avenue in the 1890s and was able to build a designated church on Turner Avenue in the 1930s. Although the 1930s church burned down in 1957, the church was rebuilt in 1970 on the same lot. The building has not moved from its original site. The design of the church is a fine example of a Modern church in the area. The surrounding churches are much older than the 1970s and do not have the same style as Saint Brendans. This Modern architecture was a reference to a new beginning and derives from the Liturgical Movement.28 The materiality of the building holds great integrity that it has not been altered or replaced. The workmanship of the church holds good integrity and the details in the design. The feeling of the church expresses a grand presence and can tell quickly that it is from a particular period of time. The church showcases one of the stained glass windows from the original
24 1955; Census Place: East Providence,Rhode Island, City Directory, 1955. St. Brendan Church, a Community of Faith and Services for 100 Years. Providence, RI, 2009, 5.https://stbren.com/history
25 1970 American Architects Directory , Thirded., 1095.R.R. Bowker LLC. , 1970.
26 “Parish History.” St. Barnabas Church, n.d. https://stbarnabasportsmouth.weconnect.com/History.
27 “Jones Pond and Other Archaeological Sites Reveal Early History of Settlement in Sowams.” Sowams Heritage Area, December 22, 2018. http://sowamsheritagearea.org/wp/jones-pond-and-other-archaeological-sites-in-sowams-reveal-early-history/
28 Alderman, Matthew. “Modernism.” New Liturgical Movement, January 18, 2011. https://www.newliturgicalmovement.org/2011/01/modernism-and-other-modern-cautionary.html#.Ybum2b3MK3A
church, showing it has deep roots in the neighborhood. The building does not have any association with a significant person. It does have an association with the growth, development of Riverside post-World War II.The building is also associated with the parish’s 1890s presence in the neighborhood and the growth and decline of the Parish.
Bibliography and/or References
Lofgren, Joe. “Chronology of Saint Luke's Parish.” REACH Newsletter. 2017. 1955; Census Place: East Providence, Rhode Island, City Directory, 1955 1970 American Architects Directory, Thirded., 1095. R.R. Bowker LLC. , 1970.
Alderman, Matthew. “Modernism .” New Liturgical Movement, January 18, 2011. https://www.newliturgicalmovement.org/2011/01/modernism-and-other-modern-cautionary.html#.Y bum2b3MK3A.
Alderman, Matthew. “Modernism.” New Liturgical Movement, January 18, 2011. https://www.newliturgicalmovement.org/2011/01/modernism-and-other-modern-cautionary.html#.Y bum2b3MK3A
Anness, Edna. “The Building with Three Lives.” East Providence Newspaper, East Providence Historical Society, n.d.
“Crescent Park | Artinruins,” September 11, 2020. https://artinruins.com/property/crescent-park/.
East Providence City Directory. Southfield, MI: R.L. POLK & CO., PUBLISHERS, 1995.
“Head Start Programs.” Head Start Programs, Early Head Start Programs and Information, n.d. https://www.headstartprogram.us/.
“Jones Pond and Other Archaeological Sites Reveal Early History of Settlement in Sowams.” Sowams Heritage Area, December 22, 2018. http://sowamsheritagearea.org/wp/jones-pond-and-other-archaeological-sites-in-sowams-reveal-earl y-history/
“Parish History.” St. Barnabas Church, n.d. https://stbarnabasportsmouth.weconnect.com/History.
“Park History: RI-Amusement-Parks.” Crescent Park History, n.d. https://www.crescent-park-ri.com/about.
Rhode Island Historical Preservation Commission, and Richard W Longstreth. East Providence, Rhode Island. Statewide Preservation Report, P-Ep-1. Providence: Commission, 1976.
St. Brendan Church, a Community of Faith and Services for 100 Years. Providence, RI, 2009. https://stbren.com/history
Saint Brendan’s Church, 49 Turner Avenue
Saint Brendan’s Rectory, 70 Turner Avenue
Saint Brendan’s Convent, 60 Turner Avenue
1: Turner Avenue Primary School. Source: , Rhode Island Historic Preservation Commission, Providence, RI, 1970, pp. 27–28.
Source: Anness, Edna. “The Building with Three Lives.” East Providence Historical Society, n.d.
Figure
Figure 2: St. Brendans Mission Chapel on Sprague Avenue
Figure 3: Saint Brendan’s Church
Source: “First Turner Avenue Church.” Postcard, 1906. https://stbren.com/history.
Figure 4: Photo of Saint Brendan’s Church after theaddition was added, taken after 1932
Source: “Photo of old Turner Ave Church (as expanded in the 1930s)” Photo, 1930s. https://stbren.com/history.
Figure 4: Postcard of St. Brendan’s Church with therenovated cottage to the side, date to be around 1920
Source: Remick, Bruce. “St. Brendans Church with therectory in the background that I had never seen before, circa 1920” Facebook, May 4, 2018.
https://www.facebook.com/photo/?fbid=10156289120617246&set=gm.1743570782365235
Figure 5: Sanborn Fire Insurance Map of 1921
Source:Sanborn Fire Insurance Map from Providence,Providence County, Rhode Island. Sanborn Map Company, to 1921Vol.6, 1921. Map.https://www.loc.gov/item/sanborn08099_012/.
Figure 6: Sanborn Fire Insurance Map of 1951
Source:Sanborn Fire Insurance Map from Providence,Providence County, Rhode Island. Sanborn Map Company, - Mar 1951Vol.6, 1950. Map.https://www.loc.gov/item/sanborn08099_018/
Figure 7: Historical Aerial Viewer, taken in 1962.
Source: “Providence Historical Aerial Viewer.” ArcGIS. ESRI, n.d. https://www.arcgis.com/apps/webappviewer/index.html?id=b1b3a4a4c66847a8b767cde26264246e
Figure 8: Historical Aerial Viewer, taken in 2018.
Source: “Providence Historical Aerial Viewer.” ArcGIS. ESRI, n.d. https://www.arcgis.com/apps/webappviewer/index.html?id=b1b3a4a4c66847a8b767cde26264246e
List of Figures
Cover Figure Census Tracts 106.00, 107.01, and 107.02
Figure 1 Median Age
Figure 2 Median Household Income
Figure 3 Total Population
Figure 4 Average Household Size
Figure 5 Diversity Index in Riverside
Figure 6 Owner Occupied Housing
Figure 7 Education
Figure 8 Persons w/ Disabilities
Figure 9 Household Vehicle Ownership
Figure 10 2021 Money Spent of Food Outings
Figure 11 2021 Owner Occupied Housing Units
Figure 12 Community Profile Report
Figure 13 Restaurant Market Potential Report
Figure 14 Retail Market Potential Report
Figure 15 Housing Profile Repor15
All figures created by the Author contain data provided by the geographic information system company, Esri. Their partners in collaboration to provide this data include: American Community Survey (ACS), Current Population Survey, Esri, and GfK MRI, Esri and Data Axle, Local Area Unemployment Statistics, Occupational Employment Statistics, and Current Employment Statistics programs. The vintage of the data is 2015-2019, 2021, 2026.
Median Age
The Median Age map shows that an older population (51.7 to 58.1) occupies the southern half of Riverside such as The Terrace while younger groups occupy areas closer to Riverside Square and along the coast. Bullock’s Point Ave divides the two younger age block groups with the youngest population (27.3 to 38.1) occupying land more inland to the east of Bullock’s Point Ave (38.2 to 46 years old) occupy the coastline of Riverside. The northern block groups of Riverside also have an older age with the East Bay Bike Path acting as the divider between ages 46.1 to 51.5 to the east and ages 27.3 to 38.1 to the west.
Household Income
Median Household Income
The Median Household Income map shows that Riverside has an evenly distributed median household income but is overall lower than Barrington block groups. The southern half of Riverside and running north (to the east of Bullock’s Point Ave) tends to have the lowest median household income as well as the northern most part of Riverside (to the west of Bullock’s Point Ave.) The median household income rises along the coastline throughout the middle of Riverside and continues to the eastern most portions beyond the East Bay Bike Path.
Total Population
The Total Population map shows that Riverside is more populated to the east of the East Bay Bike Path. Populations decrease to the west of the East Bay Bike Path below Riverside Square. The smallest populations are along the coastline and southern half of Riverside.
Average Household Size
Average Household Size
Throughout the town of Riverside, the average household size tends to be low. The Average Household Size map shows that the downtown has a household size between 2.14 and 2.73 people on both sides of Bullocks Point Ave.