Florida Roofing - November 2024

Page 1


R FING

A Publication of FRSA – Florida’s Association of Roofing Professionals

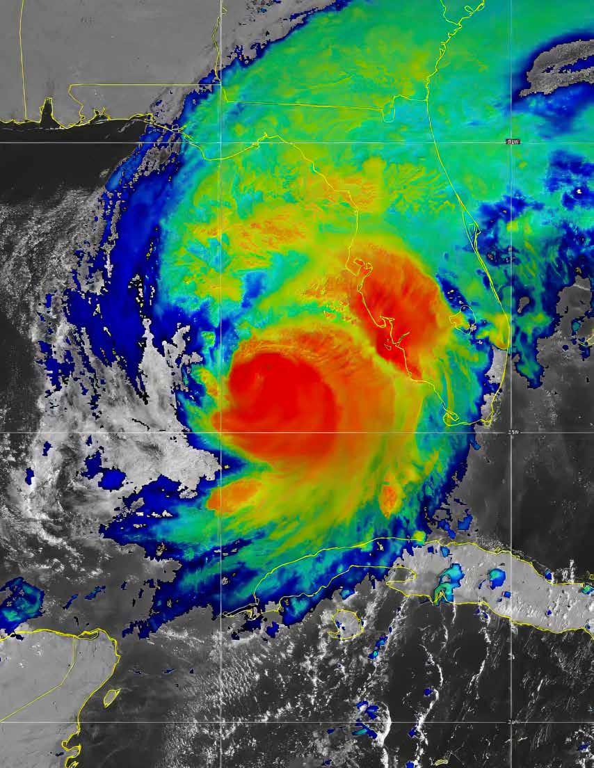
Milton Approaches Florida's Gulf Coast

Hurricane

FRSA-Florida Roofing Magazine Contacts:

For advertising inquiries, contact: Skip Heymann at: skip@floridaroof.com (800) 767-3772 ext. 127

All feedback and reprint permission requests (please include your full name and address) contact: Lisa Pate, Editor lisapate@floridaroof.com (800) 767-3772 ext. 157 Florida Roofing Magazine PO Box 4850 Winter Park, FL 32793-4850

View media kit at: www.floridaroof.com/ florida-roofing-magazine/ #FRSA #roofingprotects

JOIN US & CELEBRATE 20 YEARS OF ROOFING SUCCESS!

Best of Success brings the industry’s best roofing contractors together to help you achieve success in your roofing business!

Top reasons to attend:

• Education: Increase roofing knowledge and learn best practices from the best in the business

• Networking: Build relationships with peers, share experiences and forge lifelong partnerships

• Location, Location, Location: Best of Success 2024 is in your own backyard this year!

Exclusive Discount For FRSA Members: Register Now to save 20% o of your registration! O er expires November 1st.

SPONSORS:

Chris Coryell Charles Mahall Phillip Smith Kirt Linington Josey Parks
Gregg Wallick Justin Dant Victor Smolyanov Wayne Holloway Anissa Westfall
Trent Cotney Steve Little David Klein Jack Scalo Doug Sutter
Charles Antis McKay Daniels Chuck Chapman Kris Hitesman Adam Quenneville
Josh Sparks Amparo Sancen

Hurricanes

I hope this finds you well and safe after the recent hurricanes that have certainly wreaked havoc across our state. Many are still recovering while others are reaching out to partner with companies who have been affected. It gives me faith in our community and a sense of shared purpose.

It’s especially important now to focus on the unscrupulous contractors from out of state who want to come into our communities and repair or reroof. More than likely, these individuals do not have a Florida roofing license and have no idea that the Florida Building Code exists to protect our citizens. I urge contractors to use caution if you’re contacted by one of these companies who want to pay you to use your license or to pull permits. You are financially responsible for any damage these companies may cause and you risk losing your license. Is that a chance you’re willing to take? Please also note that it is illegal to subcontract roofing work to an unlicensed contractor. You’ve worked too hard for that roofing license – don’t jeopardize your livelihood (see Trent Cotney's article on page 8).

A final reminder that you are required by law during a Governor’s Emergency Order to include the 10-Day Cancellation Contract language in all of your contracts. Emergency orders can be renewed every 60 days, so know that they can last for a long while. If you don’t have the language, see the Florida Roofing article at www.FloridaRoof.com/10-day.

Past Hurricanes Bring Lasting Friendships

As I reflect on my journey in the roofing industry, I am reminded of the relationships and experiences that have shaped not only my career but also my life.

I started my career at Gable Roofing in Ft. Lauderdale in the early 1970s. The bonds I formed during those early years have lasted for decades and I cherish the memories and support shared. My first significant challenge came with Hurricane Andrew. In its aftermath, I found myself working in Miami-Dade County, later expanding up into Broward and Palm Beach Counties.

My family and I have continued to live in West Boca Raton since those early days and I will never forget the impact of Hurricane Wilma. While it brought damage and hardship, it also illuminated the strength of our community. I was fortunate to have established relationships that provided tremendous support during that time. I recall a friend sending a 30-yard dumpster for cleanup, while materials to replace our damaged roof and drywall arrived from others who cared. These gestures of kindness were a testament to the spirit of our industry and the bonds we share.

As I look back on those challenging times, I am grateful for the support I received. It has reinforced my belief in the importance of paying it forward. It’s an old cliche, yet it holds profound truth. Hurricanes Helene and Milton were another reminder of our industry’s resilience and camaraderie. Through communication and collaboration, many of us came together to support those in need, showcasing the pride we take in helping our community. The comfort and support we extend to one another, especially during difficult times, speaks volumes about who we are as an industry. I am proud to be a part of this community and to witness how we lift each other up. Let us continue to uphold this spirit of generosity and support as we face new challenges together. Thank you for being a part of this incredible network.

Warm regards,

Correction

In the October 2024 Florida Roofing article, "Metal Deck 101 – Metal Deck Replacement" (pages 24-26), we mislabeled a few of the metal deck types provided to us by the author. The B deck and F deck images were switched and the N deck image was incorrect.

Thanks to Michael Polizzi, Sales Manager, A.C.T. Metal Deck Supply, for bringing the error to our attention. The article has been corrected in online versions, including the Florida Roofing Blog version available at www.floridaroof.com/metal-deck-101.

Manny Oyola, Jr.
Manny Oyola, Jr., FRSA President Eagle Roofing Products

Industry Updates

Duro-Last Names Albert Frattaroli as New Vice President of Finance

Duro-Last, a member of Holcim Building Envelope, is pleased to announce Albert Frattaroli as its new Vice President of Finance. In this role, Frattaroli will oversee Duro-Last’s financial strategy and operations, driving initiatives to enhance profitability, streamline financial processes and support continued growth.

Frattaroli brings more than 20 years of experience in finance, having held leadership positions with global organizations such as Amcor, Owens Corning, Ally Bank, Honeywell International and PricewaterhouseCoopers. His expertise spans financial planning and analysis, operations finance, internal controls, acquisition integration and team leadership.

“We are excited to welcome Albert to the DuroLast family,” said Darren Schulz, Duro-Last President. “Albert’s extensive experience in financial management, coupled with his ability to partner with leaders of the business to drive operational and profitability improvements, makes him a perfect fit for our leadership team. His proven success in these areas will be invaluable as we continue to innovate and deliver the highest quality solutions to our customers across the commercial roofing industry.”

Frattaroli holds a Certified Public Accountant (CPA) and a Chartered Accountant (CA) designation. He earned his Honors Bachelor of Commerce degree from the University of Windsor in Windsor, Ontario.

“Duro-Last is known for its innovation, quality and dedication to customer success and I’m honored to join such a reputable organization,” Frattaroli said. “I’m eager to leverage my experience to enhance the company’s financial strategies and support its continued growth. I look forward to working with the team to strengthen our financial foundation and drive long term success for both Duro-Last and its customers.”

In addition to Duro-Last, Frattaroli will lead the financial operations of sister brands EXCEPTIONAL Metals, Plastatech Engineering, Oscoda Plastics, TIP-TOP Screw Manufacturing and Anvil Paints & Coatings.

Action Roofing Services Becomes

an Official Roofing Partner for Miami Dolphins

Action Roofing Services, a member of the Peak Roofing Partners Family of Companies, is partnering with the Miami Dolphins. This partnership includes game-day branding and promotional opportunities for Action Roofing Services at Hard Rock Stadium.

The partnership aligns on a shared mission of supporting the local community. Action Roofing Services and the Miami Dolphins, through their Football UNITES program, will join forces for the Raise the Roof Initiative, a giveaway to benefit South Florida residents in need of roofing services. Action Roofing Services signage will also be seen at all Dolphins home games and special co-branded digital content online.

“As a devoted fan of the Dolphins organization, I am extremely proud to invest in a team that has given so much to our region,” said Anthony Perera, Founder of the Peak Roofing Family of Companies. “Partnering with the Dolphins allows us to extend our roofing services to those in need while joining forces with an organization that unites our community.”

A long-time fan of the Dolphins, Perera is no stranger to supporting the NFL team. Air Pros USA, a business venture by Perera and a leading residential air conditioning company, has been an Official Air Conditioning Partner of the Miami Dolphins since 2020.

In 2023, Fund members received $5 million in Dividends and in June another $2 million based on 2023 performance –while workers’ comp rates are the lowest in history.

Licensed Roofing Contractor Requirements: What They Are and Why They Matter

I routinely get asked the question: Can I subcontract out roofing labor if I supervise it? The legal answer is no.

Understanding the Requirements

According to Florida Statute 489.105(3)(e), “Roofing contractor means a contractor whose services are unlimited in the roofing trade and who has the experience, knowledge, and skill to install, maintain, repair, alter, extend, or design, when not prohibited by law, and use materials and items used in the installation, maintenance, extension, and alteration of all kinds of roofing, waterproofing, and coating, except when coating is not represented to protect, repair, waterproof, stop leaks, or extend the life of the roof.”

Further, contractors are not allowed to subcontract the aforementioned roofing scopes of work to unlicensed roofers. Roofers must be employees of a

licensed contractor or be leased via a duly licensed employee leasing company, to qualify for an exemption under the licensing requirements. An employee leasing company operates by assigning its workers to clients, allocating the direction and control of leased workers to the contractor.

The Hazards of Using Unlicensed Workers

Unlicensed contractors may charge lower rates than licensed contractors; however, they often lack the proper training, experience and insurance. That means they may provide substandard work and not have the necessary insurance and coverages to address on-the-job injuries or other claims.

Beyond said liability concerns, according to Florida Statute 489.127, it is a crime for any person to “falsely hold himself or herself or a business organization out as a licensee, certificate holder, or registrant.” It is also illegal for a person to “engage in the business or act in the capacity of a contractor or advertise himself or herself or a business organization as available to engage in the business or act in the capacity of a contractor without being duly registered or certified.”

This law is often called the Florida Contractors’ Unlicensed Activity statute. It has two main goals:

■ To protect consumers from inexperienced, unqualified and uninsured contractors.

■ To protect licensed contractors from unfair competition by those who have not followed the rules by lawfully obtaining a license.

To assure those protections, any holder of a roofing contractor’s license who aids another person in the act of unlicensed contracting runs the risk of punishment by the Florida Department of Business and Professional Regulation’s (DBPR) Construction Industry Licensing Board (CILB), the state agency in charge of overseeing the construction industry in the State of Florida. Pursuant to the rules of the CILB, a license holder who is found to have assisted an unlicensed person in evading any provision of § 489 of

the Florida Statutes may be punished by not only a monetary fine and a payment of restitution but also severe penalties of license probation, suspension and revocation.

Consequences for Unlicensed Contractors

The Florida Statutes dictate that the act of unlicensed contracting in the State of Florida can result in criminal charges ranging from a first-degree misdemeanor to a third-degree felony. In fact, any unlicensed person or business advertising or performing contracting work can be charged with a first-degree misdemeanor.

In addition, if the accused unlicensed person has been convicted of contracting without a license previously or if the unlicensed activity occurs during a designated State of Emergency, the charges can result in a third-degree felony, with penalties as high as five years in jail or five years of probation.

In addition to potential jail and prison sentences, if a person convicted of contracting without a license

check that the contractor is appropriately licensed before signing a contract. The public can verify licenses through DBPR’s online search system or by calling your local building department. Frm

The information contained in this article is for general educational information only. This information does not constitute legal advice, is not intended to constitute legal advice, nor should it be relied upon as legal advice for your specific factual pattern or situation.

Trent Cotney is a Partner and Construction Team Leader at the law firm of Adams & Reese LLP and FRSA General Counsel. For more information, you can contact him at trent.cotney@arlaw.com or by phone at 813-227-5501.

Free Legal Helpline for FRSA Members

Adams and Reese LLP is a full-service law firm dedicated to serving the roofing industry. FRSA members can contact Trent Cotney to discuss and identify legal

FRSA Member Benefit

Future-Proofing Your Roofing Business for Long-Term Success

Last month, we discussed the importance of adapting to economic fluctuations and improving operational efficiency in your roofing business. Now, we will focus on long-term strategies to help future-proof your business and ensure sustainable growth, regardless of economic conditions. This includes embracing innovation, managing risks and setting achievable long-term goals aligning with your success vision.

Developing Long-Term Strategic Plans

Setting Achievable Long-Term Goals. Future-proofing your roofing business starts with setting clear and realistic long-term goals. For many contractors, this might mean expanding into new service areas, such as green roofing solutions, maintenance services or other complimentary operational services. Diversifying services can open new revenue streams and reduce reliance on traditional roofing projects, which are more susceptible to economic fluctuations.

Setting these goals requires thorough understanding of your market, resources and team’s capabilities. Print Circulation

Florida

ROOFING

5,000 Industry Professionals

1,332,902 Industry-focused 12-Month Digital Impressions

Contact skip@floridaroof.com for advertising info

For example, if your business is in a region experiencing rapid urbanization, you might consider positioning yourself as a leader in commercial roofing for new developments. Focus on sustainability trends to tap into eco-conscious clients and developers.

Financial Planning for Growth

Growth in the roofing industry requires not only careful financial planning but also the management of risks. A key component of financial planning is maintaining flexible budgets that can be adjusted based on market conditions. Additionally, consider building cash reserves to help weather periods of low demand.

Be proactive in seeking financing opportunities that can support your long-term goals. Whether securing a business loan for expanding operations or finding investors for a new service line, ensuring access to capital is essential for sustainable growth.

Leveraging Innovation for Competitive Advantage

Embracing Green Building Techniques and New Technologies. One of the most effective ways to future-proof your business is by embracing innovation. Green building techniques, such as cool roofing and energy-efficient materials, are rapidly becoming industry standards. By integrating sustainable practices into your service offerings, you can attract environmentally conscious clients and reduce environmental impact.

Technological innovation also plays a crucial role. Roofers who stay ahead of the curve by using advanced materials and cutting-edge tools, such as drones for inspections or AI-based project management software, will gain a competitive edge. Embracing these advancements ensures higher efficiency, accuracy and client satisfaction.

Staying Ahead of Industry Trends

The roofing industry constantly evolves and staying up to date with the latest trends is essential for long-term

success. Attend industry conferences, subscribe to roofing trade publications and network with other professionals to stay informed about regulation changes, material innovations and client preferences.

Risk Management and Compliance

Identifying and Managing Risks. In any roofing business, risks are unavoidable but they can be managed. Identify your business’s key risks, from material shortages to regulatory changes. Develop contingency plans that allow you to continue operations even when faced with unforeseen challenges. For instance, having alternate suppliers lined up during a shortage of specific roofing materials can prevent project delays. Ensuring Compliance. Compliance with industry regulations and safety standards is vital to the success of your business. Non-compliance can result in costly fines, project delays and damage to your reputation. Regularly review industry standards and ensure your team is trained to meet these requirements. This not only protects your business but also builds client trust.

Implementing Continuous Improvement Systems

Feedback Loops and Operational Assessments. Continuous improvement is vital to future-proofing your business. Regularly seek feedback from clients to understand their needs and expectations. Implement systems that allow you to review and refine your operations based on this feedback. For example, after completing a project, ask for client input on the process and the final product. Use this information to adjust your workflows, improving efficiency and client satisfaction.

SWOT Analysis for Contractors

Conduct regular SWOT (strengths, weaknesses, opportunities and threats) analysis to identify areas of improvement within your business. Understanding your company’s strengths and weaknesses allows you to capitalize on opportunities and mitigate risks.

Future-proofing your roofing business requires long-term strategic planning, innovation, risk management and continuous improvement. Adopting these strategies will ensure your company’s growth and sustainability, regardless of economic conditions. Begin implementing these strategies today and position your roofing business for long-term success.

In this two-part series, we’ve explored the essential strategies roofing contractors need to navigate economic fluctuations and future-proof their businesses. From adapting operations to meet changing market conditions to leveraging innovation, managing risks and setting long-term goals, the aim is to equip roofing professionals with practical tools to thrive in an unpredictable economy. Roofing contractors can build resilient, efficient and forward-thinking businesses

that are well-positioned for sustained growth and success by embracing these strategies.

John Kenney, CPRC has over 50 years of experience in the roofing industry. He started his career by working as a roofing apprentice at a family business in the Northeast and worked his way up to operating multiple Top 100 Roofing Contractors. As CEO, John is intimately familiar with all aspects of roofing production, estimating and operations. If you would like further information on this or another subject, you can contact John at jkenney@cotneyconsulting.com.

Hurricanes Helene and Milton Demonstrate How Each Storm is Different

Dealing with hurricanes is a fact of life for Floridians. Our attention turns to weather reports starting as early as June and with increasing frequency into September (historically the most active month for Florida hurricanes) and well into October. For those of us in the roofing industry, it is imperative that we stay aware of the latest tropical storm developments. FRSA is committed to learning all we can from storms that hit Florida with near or above design wind speed force. Determining where the storm will make landfall and the storm’s characteristics are important pieces of information that we use to determine how we respond.

Recently, I found myself, like so many of us, focusing on a tropical disturbance developing near the Yucatan Peninsula that was soon to become Hurricane Helene. Thanks to the incredible scientific resources that are available to us today, we have a good idea of the general track of storms and a good estimate of their expected intensity. Even with all this information available to us, a slight change in direction can significantly alter the storm’s path or an unexpected increase in intensity can add to the threat. This makes

predicting the amount and the type of damage from a particular storm very difficult.

We’ve recently experienced several hurricanes that all caused significant damage but varied in ways that have a major impact on the type and amount of damage caused.

■ Hurricane Michael (October 2018) was the second strongest storm to hit Florida on record. As a Category 5 storm generating 160 mile per hour winds with a very high storm surge, it devastated areas in the Central Panhandle. Away from the coast, Michael continued to cause significant wind damage.

■ Hurricane Ian (September 2022) was only a slightly weaker Category 4 storm, with winds approaching 130 miles per hour. It sat over areas of Southwestern Florida for nearly 11 hours, moving very slowly while buffeting buildings with prolonged winds and drenching the region with flooding rains. It also caused an intense storm surge that nearly flattened Ft. Myers Beach, one of the most developed areas it impacted. It was the

costliest and the deadliest hurricane to hit Florida in over 115 years.

■ Hurricane Helene (September 2024) was a very large storm. As it passed well off Florida’s west coast, its bands pummeled areas with rain along the east coast, 200 miles from the eye. Because of Helene’s massive size and the relatively shallow waters of the eastern Gulf of Mexico along Florida’s west coast, combined with the fast speed it was moving, a record-breaking storm surge was pushed forward as it moved northward.

Helene’s impacts were catastrophic along the central west coast’s barrier islands and surrounding areas that had been spared significant damage for decades. This area has never recorded water levels as high as those seen during Helene. As Helene closed in on Florida’s Big Bend region, the storm surge that was being produced from the backside of the storm’s rotation slammed into Florida’s coast near a relatively

unpopulated area. The mass of water was trapped by the topography and had nowhere to go but inland. From Cedar Key to Horseshoe Beach to Steinhatchee to Keaton Beach around to St. Marks, the impacts were devastating. As the storm moved inland, its path crossed Perry and into North Florida with hurricane force winds. Even before it made landfall, the storm turned into an enormous rain maker. As it moved north into Georgia and beyond, it caused catastrophic flooding and unprecedented damage throughout much of the Southeastern United States.

The total number of deaths and the overall monetary costs related to Helene as of this writing are still unknown. Unfortunately, both have the potential to be extremely high. Human loss, physical injuries, the disruption caused to countless lives and the trauma that living through storms creates, is unimaginable. Problems arise from obtaining housing after storms and from the financial burden of paying for uninsured or underinsured losses, many from flood claims that require special coverages. It has been well documented that surviving these storms can have negative health impact and other effects that last for decades. Even if you are not directly exposed to these storms, you will be impacted at least financially when paying for the property insurance rate increases they cause. We must endeavor to learn all we can from these events to reduce losses and disruptions of all kinds in the future.

To help accomplish this, FRSA’s major focus during these events is how hurricane force winds affect Florida’s buildings and, particularly, the performance of roof systems. We often initiate and participate in hurricane mitigation assessment efforts by traveling to the impacted locations. Before we go, we need to determine if the type of storm and where it made

Wind-borne Debris Region 130 mph and within 1 mile of the mean high-water line.

Designated areas where the ultimate design wind speed, Vult, is 140 mph (63.6 m/s) or greater.

Hurricane Helene approaches the Big Bend area of Florida.
NOAA damage aerial images map.

landfall will yield enough information to make deployment worthwhile. Over the last 13 months, we have had three hurricanes (Idalia, Debby and Helene) that made landfall in the Big Bend region where development is relatively sparse where newer construction is rare and types of building construction are limited. So failures observed in this area may not correlate into the overall performance of the Florida Building Code’s (FBC) requirements, which are our primary purpose of deploying after a hurricane.

Just because this area is lightly inhabited doesn’t make these losses any less traumatic for those who experience them, particularly for the third time in just over a year. These three storms hit a 50-mile section of the state’s more than 8,400 miles of coastline. Our hearts go out to those who have had to endure this.

Even though we may not visit the area, we can still gather useful information from these events. One very useful tool we use is provided by the National Oceanic and Atmospheric Administration (NOAA). Within a few days, they begin posting aerial images of impacted areas. You can find these at www.floridaroof.com/noaa_helene.

When you open the map, you’ll see dark strips along the coast. Zoom in on any of these and you will eventually see relatively good images of the area and the buildings. Notice dark brown swimming pools and all sorts of displaced items – boats, docks, cars and in some cases, even buildings. You can make out roof covering types and, in some cases, the damage that exists. These images are used when we deploy to find locations with damage we can learn from. They also provide information about the type of damage experienced. These images, when reviewed consistently, can be very revealing. Previous storms that approached hurricane speeds over the past decades left building after building with exposed sheathing or decks with the roof coverings hanging off structures or completely displaced. More recently, we don’t see nearly as much of this type of damage until the winds approach or exceed design wind speeds or the damaged roof

coverings are already in questionable condition. This is no small accomplishment and has only been achieved due to the persistent dedication and hard work from industry professionals who understand how important it is to produce and install more resilient roof systems. Improvements made through building code changes and material improvements are clearly making a big difference. Our industry should take great pride in the work that has been done but stronger storms will continue to reveal areas that can be improved upon. FRSA and our industry partners are committed to learning all we can post-hurricane, not only from our observations but from first-hand accounts from our members. Our membership puts us in a unique position to obtain information that very few would have access to. If you have observed unusual or interesting damage or failures, please share them with us.

UPDATE: Hurricane Milton Makes Landfall on Florida’s West Coast Less Than Two Weeks After Helene Causes Historic Damage

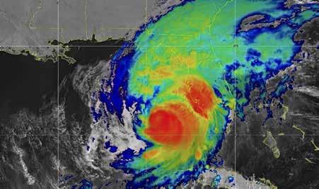
I completed the Helene portion of this article Friday before a new disturbance near the Yucatan Peninsula caught my interest. In a matter of a few days, it became Hurricane Milton, which grew to a Category 5 storm packing over 156 mph winds. It was accurately forecasted to impact the west central coast of Florida somewhere near the Tampa Bay region. This appeared to be the type of event that many of us have dreaded. A major storm hitting a densely populated coastal region. I watched closely, not only for my professional interest but also for personal reasons due to the track's anticipated landfall. It was to hit very close to where I live in Manatee County, located on the south end of Tampa Bay. As it turned out, at least from a storm surge perspective, Tampa Bay had figuratively dodged a bullet. A high pressure front weakened Milton to a Category 3 storm just before landfall. It reportedly made landfall at Siesta Key near Sarasota, keeping the worst storm surge out of Tampa Bay.

Recent code compliant structures remain.
Hurricane Milton forms near the Yucatan Peninsula.

Interestingly, the highest recorded wind speed was near Anna Maria Island on the northern tip of Manatee County, near the southern opening to the bay. The contour map shown here had the strongest wind near Ft. DeSoto State Park and Tierra Verde, in Pinellas County’s southern tip on the northern opening.

The same wind contour map below shows why this hurricane will always be different, not only because of confounding information of where the highest winds were measured far from landfall but also personally for me (and my family). The actual path ended approximately 12 miles south of my home. It’s shown as a red star also on the contour map. The eye passed over us and I had the chance to stand in the calm of the eyewall. I’ve heard doing so described as eerie and I would agree. Having witnessed the high winds Milton produced will help me better understand the trauma that some folks experienced. The impact of Milton so close on the heels of Helene’s devastating storm-surge is, as they say, adding salt to the wound. Thankfully, Milton did not reach design wind speeds but we will still try to learn all we can from this still very strong storm. I will not have to deploy to some far-off part of the state but can start very close to home.

It took a little longer to start assessing the roof damage caused by Milton (normally done three days after landfall) due to the need to deal personally with the aftermath. About a week after the storm made landfall, I began conducting observations. On the following pages are some of the photos of damage I captured of asphalt shingle, clay and concrete tile, metal panels and low slope systems.

Hurricane Milton approaches Florida's west coast.
Milton’s eye approaches the southern Tampa Bay region.
Wind Contour Map: Hurricane Milton preliminary path and wind speeds.
Wind exposure of an impacted development.

Asphalt Shingles:

I observed a very large new housing development close to my home. Unlike my neighborhood, which has many large live oaks both around and within it, along with other similar structures around it, the new development was completely cleared before construction. The homes there are mostly two stories with little around them to interfere with the wind. The development also backs up to I-75 on the east side, where some of our strongest gusts came from.

All these homes have asphalt shingle roof systems. Most of them are three tabs while others are laminated (architectural or dimensional) shingles that were an upgrade to the builder’s standard. The houses range from 10 years old to just completed. There definitely appeared to be a difference in the overall performance of the products with more significant damage occurring to the threetab shingles, where I saw more shingle damage than expected.

3-tab shingle field damage.
Severe damage to laminated field shingles, hip and ridge.
Limited damage while neighbors are tarped.
Damaged 3-tab and less damaged laminated shingle.

Happily, even though these roofs had problems, there was no evidence of bare sheathing. The secondary water barriers were clearly helping with few indications of water intrusion. Hip and ridge failures are once again fairly common. I feel that there could be a lot for the roofing industry to learn in instances like this. Why do we see the degree of damage that we do to these relatively new installations? What are the failure modes and how can they be reduced in the future? In more sheltered areas, shingle performance was clearly better as you would expect.

Covered shingle hip and ridge damage.
Shingle hip and ridge damage.
Shingle hip and ridge damage.

UV-resistant. Single-step.

Direct-to-deck application.

Peel & Seal® provides a complete waterproofing barrier to the elements.

Self-adhering and easy-to-use low-slope and flashing membrane.

Peel & Seal® is the original, self-stick roll roofing specifically designed for low-slope roofing applications, as well as a durable flashing membrane for exterior penetrations. Designed to be left exposed to the elements, count on Peel & Seal® to provide a long lasting, durable, and maintenance-free surface.

• Aggressively adheres direct to the surface

• Designed to be left exposed to the elements

• Ideal for hundreds of waterproofing applications

• 10-year warranty

Count on Peel & Seal® for ease of installation and increased savings!

or call 800.882.7663.

Concrete and Clay Tile: We looked at another subdivision on the south side of the Manatee River close to I-75 that is made up entirely of large high-end homes with mostly tile roofs. Here, and in other areas on Anna Maria Island and Longboat Key, in both homes and apartments, we witnessed a clear difference in the amount of hip and ridge damage when comparing installations that incorporated the latest (post 2007) improvements made to the hip and ridge installation requirements versus older roofs. Those improvements included mandatory members for attachment of the accessory hip and ridge tile. Where newer installations showed damage, there were clear installation deficiencies. Field tile for the most part fared well.

Damaged hip and ridge without members.
Damaged hip and ridge without members.
Damaged unadhered hip and ridge with wood member.

Damaged hip and ridge installation with members without adhesive.

Damaged unadhered hip and ridge with wood member.
Damaged hip and ridge without members – only mortar was used.
Damaged hip and ridge without members – mortar only was used.
Damaged hip and ridge without members – only mortar was used.

Metal Panels: Metal roof systems were prevalent in many areas, particularly on the previously mentioned barrier islands. Many of these were of the throughfastened variety that clearly offer great wind resistance. This was evident regardless of the roof's age.

Damaged 5 v-crimp (fastened through).

Damaged 5 v-crimp (fastened through).

Low-Slope Roofs: For obvious reasons, it is harder to document damage to low-slope roofs without having access. We did see a few obvious examples of damage. We can also use the NOAA imagery to see the

Hip and ridge as well as other trim performed well overall and better than during some of the stronger storms with higher wind speeds previously mentioned. Overall, metal roofs performed very well, however, we did observe a few failures shown here.

Damaged concealed fastener standing seam panels.

Damaged concealed fastener standing seam panels.

damage. Visit www.floridaroof.com/noaa_milton to see these images for youself. Again, overall performance of these sytems was good.

Debris from low-slope roof hanging over wall.
Damaged low-slope roof.

Despite the roof damage outlined above, most objective observers agree that roof system performance in high wind events has improved significantly. We will continue to learn from each of these events and find reasonable and doable ways to improve products and applications. Some of these improvements will come through building code changes while others originate with us helping manufacturers and contractors better understand what is working well and where, as an industry, we can improve. I wish to stress again that FRSA’s advantage in helping with this endeavor is with

the collective eyes of our membership. Please share your observations from the field. After all, who knows better what works and what doesn’t than a conscientious contractor.

Mike Silvers, CPRC, is owner of Silvers Systems Inc. and is consulting with FRSA as Director of Technical Services. Mike is an FRSA Past President, Life Member and Campanella Award recipient and brings over 50 years of industry knowledge and experience to FRSA’s team.

Milton Damages Roof of Tropicana Field, Site of FRSA's 1995 Expo

One of the most reported roof damages caused by Hurricane Milton occurred to St. Petersburg’s Tropicana Field, home of Major League Baseball’s Rays. It was formerly known as the ThunderDome when the NHL Lightning and the AFL Storm played there. It also has significant ties to FRSA. Our 73rd Trade Show was held there during Mike Silvers' year as FRSA’s President. Its location also incorporates what was previously Ace Roofing Company property,

which was the business home of Bob Campanella, who FRSA’s most prestigious award is named after. The stadium is almost certain to be demolished since a new Ray's stadium scheduled to open in 2028.

MFM Building Products

Efficient Florida Waterproofing Protection

MFM Building Products provides Florida roofing contractors with a full line of self-adhering underlayments, low-slope roofing membranes and roof panel seam tape to get the project done fast and efficiently, while saving valuable material and labor costs. Founded in 1961, MFM has more than 60 years of waterproofing experience to give you peace of mind when the job is complete.

Look to MFM for:

■ Granulated Ice & Water underlayments

■ Smooth surface Ice & Water underlayments

■ High-temperature underlayments

■ UL Class A fire rated underlayment

■ Clay tile underlayment

■ Shingle starter membrane

■ Low-slope roofing membranes

■ Specialty roofing, construction tapes and so much more.

UL Class A Fire Rated Underlayment

Ultra HT Wind & Water Seal is a UL Class A fire rated underlayment for use under 24 GA steel or 16

oz. copper UL-listed roofing panels. The product is high temperature rated to 250°F and features a durable, cross-laminated construction for maximum protection.

Local Sales Representation

MFM Sales, located in Tallahassee and founded by Park Adams, has represented MFM Building Products for more than 30 years. For all inquiries, please contact Will Gerstman at 850-566-7274 or by email at will@mfmsales.com.

Made in the USA

All of MFM’s products are manufactured in the United States and come with a rock-solid warranty to back it up. It’s the way we’ve been doing business since 1961. Count on MFM to provide the right waterproofing solutions for your business. To learn more about our products or to request a FREE sample, visit www.mfmbp.com.

MFM Building Products Corp 525 Orange Street Coshocton, Ohio 43812 800-882-7663 www.mfmbp.com | info@mfmbp.com

BEACON Building Products

Beacon Building Products is one of the largest distributors of residential roofing, commercial roofing, metal roofing and complementary building products in North America.

Beacon By The Numbers

■ 95-plus years of serving professional contractors (Founded in 1928 in Charlestown, MA)

■ One of the largest companies in America (#429 on the FORTUNE 500)

■ Nationwide with 550-plus locations across all 50 states and 7 Canadian provinces

■ 6,000-plus employees dedicated to helping you grow

■ 2,300-plus trucks in our fleet

■ 100,000-plus SKU’s to ensure we have the products you need, when you need them

■ Our number 1 priority: Helping customers BUILD MORE

Mission Statement

Empowering our customers to build more — for their customers, business, community and family — through world-class service and innovative solutions.

Company Values

■ PUT PEOPLE FIRST

Our reputation is built on a foundation of consistency, trust and respect.

■ MAKE EVERY DAY SAFER

Creating safe, inclusive workplaces strengthens communities and promotes healthier, more fulfilling lives.

■ DO THE RIGHT THING

It may take longer, it may be harder but we are determined to do what’s right for our teammates, customers and stakeholders, because that’s what matters most.

■ OWN YOUR DAY

We take pride in a job well done and are always willing to roll up our sleeves and put in the extra effort to overcome obstacles and get results.

■ NEVER STOP BUILDING

We are dedicated to bringing our customers innovative, smart and reliable solutions to help them get more from their day.

Find a Beacon Location Near You

Visit us online at www.BECN.com

Transformational Leadership

A roofing company, much like any other business, thrives or struggles based on the quality of its leadership. Roofing companies with strong, forward-thinking leaders tend to outperform the competition, delivering better service, innovation and team morale. But how can you cultivate the kind of leadership that drives your roofing company toward long-term success? One powerful answer is transformational leadership.

Transformational leadership is not just about managing tasks and overseeing day-to-day operations. It’s about inspiring and motivating your team to reach their full potential, surpassing even their own expectations. This leadership style involves creating a clear, shared vision, fostering a strong sense of purpose and encouraging innovation and creativity within your roofing business. In this article, we’ll dive into the key characteristics of transformational leadership and explore how adopting this style can impact your company’s growth and the personal development of your team.

The Power of Vision

One of the hallmarks of transformational leadership is having a compelling vision. In the roofing industry, where challenges like weather disruptions, evolving customer expectations and increasing competition are common, a well-defined vision provides stability and direction. Leaders who adopt transformational leadership articulate a vision that goes beyond day-to-day operations or short-term profit goals. Instead, they focus on long-term success, aiming to build a reputable roofing company known for its reliability, innovation and customer satisfaction.

Imagine telling your team that your goal isn’t just to complete 20 roofs a month but to become the go-to roofing company in your region, known for superior craftsmanship, customer service and sustainable practices. By painting this bigger picture, you give your employees something greater to work toward, something that inspires them to go beyond simply “doing their job.” A shared vision also aligns your team, ensuring everyone is moving in the same direction with a sense of purpose and drive.

Charismatic Leadership: Inspiring Trust and motivation

At the heart of transformational leadership is charisma, a trait that goes beyond surface-level charm. Charismatic leaders possess a magnetic presence that can motivate and inspire those around them. In the context of a roofing company, this could mean consistently showing enthusiasm for the work, sharing your passion for quality craftsmanship and making

every team member feel like they play a critical role in the company’s success.

Charisma in leadership is about making connections, not just setting expectations. A charismatic company leader will take the time to understand their team members, build trust and foster emotional connections. This is critical in an industry where physical labor can be tough and long hours under difficult conditions can be exhausting. When your team sees your commitment, passion and authenticity, they are more likely to follow your lead with enthusiasm. They’ll not only be motivated to do their best work but also to innovate and find solutions to the challenges that arise on the jobsite.

Creating a Supportive and Inclusive Culture

Transformational leaders don’t just manage their teams – they create environments where people thrive. In a roofing company, this means fostering a culture of open communication, mutual respect and inclusivity. Roofing work is highly collaborative, often requiring crews to work in tight coordination to ensure safety, quality and efficiency. A leader who prioritizes open communication will ensure that team members feel heard and valued, no matter their role or level of experience.

For example, during regular team meetings, transformational leaders in roofing companies may encourage feedback from all levels, from seasoned project managers to newer crew members. This openness helps everyone feel that their insights and contributions are valued and can lead to new ideas, innovations in workflow or improvements in safety practices. A company where every voice matters fosters a greater sense of belonging and loyalty among employees, reducing turnover and creating a more cohesive team.

In addition, by cultivating an inclusive culture, transformational leaders help their team members feel secure in their roles and proud of their contributions. This not only improves morale but also enhances creativity. A team member who feels respected and appreciated is far more likely to bring new ideas to the table, whether that’s suggesting a more efficient way to install shingles or recommending a new tool

that could save time and reduce physical strain on the team.

Focusing on Individual Development

Transformational leadership is deeply invested in the personal and professional growth of team members. In the construction industry, where skill levels vary widely and there’s always room for improvement, the emphasis on individual development can have a significant impact on both the team and the business as a whole.

A transformational leader in the company will take the time to mentor their crew, helping each person develop their technical skills and leadership abilities. This might involve formal training sessions on new roofing materials, safety protocols or advancements in roofing technology. It could also mean providing opportunities for experienced team members to mentor younger team members, helping to cultivate the next generation of industry leaders.

Moreover, transformational leaders encourage team members to pursue certifications or additional training that will benefit their careers. For instance, offering to cover the costs of safety certification programs or advanced roofing technology courses can not only improve the quality of your roofing services but also show your employees that you are invested in their long-term success.

When employees feel that their growth is a priority, they are more likely to stay loyal to the company, reducing turnover and fostering a more experienced and reliable workforce. A company that prioritizes individual development will ultimately build a team that is both skilled and invested in the company’s future.

Driving Innovation and Change

One of the most valuable traits of transformational leaders is their ability to inspire change and drive innovation. The roofing industry is constantly evolving, with new materials, technologies and methods being developed every year. A transformational leader is not content with the status quo – they actively seek out opportunities for improvement and encourage their team to do the same.

For example, a transformational leader might encourage the adoption of eco-friendly roofing materials or sustainable installation methods, appealing to environmentally conscious customers and setting the company apart from the competition. They might also invest in new technologies like drones for roof inspections or advanced software for project management, improving efficiency and reducing errors.

By promoting a culture of continuous improvement, transformational leaders ensure that their business stays ahead of industry trends and adapts to changing market demands. They also empower their team members to contribute ideas and solutions, fostering a sense of ownership and creativity within the company.

Conclusion

Transformational leadership can take your roofing company to new heights by focusing on a compelling vision, fostering strong team connections, creating an inclusive and supportive culture, emphasizing individual growth and driving innovation. In a competitive industry like roofing, adopting this leadership style will not only set your company apart but will also inspire your team to perform at their best, leading to sustained success. By embracing the principles of transformational leadership, you can build a roofing company that not only excels in craftsmanship but also cultivates a loyal, motivated and innovative workforce.

Gary A. Cohen is Vice President of Certified Contractors Network (CCN) and is responsible for the day-to-day operations of the company. CCN is the leading comprehensive training, coaching and networking membership organization in North America. Gary is also a 30-year veteran of the home improvement industry, spent 11 years at the Robert H. Smith School of Business at the University of Maryland as a Professor of Business and served four years as Associate Dean of the business school. Gary has been a certified leadership coach for the past 18 years. Contact Gary at gary@contractors.net.

Harnessing Technology in the Roofing Industry: A Game Changer for Homeowners and Contractors Alike

Few tasks can be as daunting when it comes to maintaining and improving our homes as dealing with roof repair or replacement. Forest Gump’s mother said, “Life is like a box of chocolates, you never know what you’re gonna get,” meaning that box has different chocolates that come in many flavors and fillings and, much like life, some delight and some disappoint. When it comes to picking a roofer, homeowners want a chocolate or, rather, a roofing company that delights. Many feel anxious about hiring a roofer for multiple reasons including the quality of the workmanship and materials along with the potential high costs and the time-consuming process. The contractor who can best alleviate these pain points for the homeowner will win the job.

The Pain Points of Roofing: Cost and Time

When homeowners realize the need to repair or replace their roof, two major concerns come to mind: the financial implications and the disruption to their daily lives. Roofing projects are usually expensive and may reveal unforeseen issues that could increase costs. Additionally, the time from initial contact to project completion can be significant, which can be challenging for homeowners due to the pace and demands of their lives.

Thanks to technological advancements in the roofing industry, contractors are extremely well equipped to meet these challenges by embracing innovative tools to enhance efficiency, accuracy and customer satisfaction.

So, how does technology help the roofing contractor today? Well, let’s take a look at the chocolates available in the roofer’s box and find out.

Finding the Right Contractor – The Must Have’s

Just like a box of chocolates with must-haves like caramel and nut varieties, a contractor’s technology journey includes essentials such as a strong website, targeted marketing and an instant quoting tool. Websites and SEO: A well-designed website optimized for search engines (SEO) ensures that a roofing company is easily discoverable by homeowners actively searching for roofing services. An effective online presence is no longer optional but a necessity.

Targeted Marketing:

Digital marketing strategies enable contractors to reach potential clients through targeted ads, whether on social media or search engine marketing, focusing on homeowners needing roofing services.

Instant Quoting Tools: The most recent technology enhancement is innovative quoting tools that allow homeowners to receive a preliminary estimate for their roofing project instantly, in exchange for their contact information. This not only provides immediate value to the homeowner but also streamlines the lead conversion process for contractors, lowering their cost per lead and improving the effectiveness of their marketing campaigns.

Meeting Homeowner Expectations – The Specialties

Back to our box of chocolates, you’re in for a delightful surprise with every box, as it’s bursting with extraordinary flavors that give each box its own captivating “personality.” From creamy fillings to decadent truffles, these special flavors are what set this box of chocolates apart. Similarly, the next level of technology available to roofing contractors is designed to elevate the overall customer experience. These innovative tools are poised to make a lasting impact once customers choose to engage with your services.

Customer Relationship Management (CRM) Systems: CRM systems with seamless integrations are essential for managing the customer journey. They cover everything from acquiring leads to making sales, production and collections. By efficiently managing each step, these systems enhance the overall customer experience and operational efficiency. They are crucial to ensure a smooth and successful customer journey. Data and Imaging Tools: Advanced imaging and data collection tools, such as drones and geospatial data, enable contractors to assess a roof’s condition accurately without the need for time-consuming, manual inspections. This technology facilitates the creation of

fast and precise estimates, setting realistic expectations for the homeowner.

Financing Options: In today’s evolving insurance landscape, retail roofing purchases are on the rise nationwide. To ensure success, contractors must offer accessible pre-qualification and financing resources. This proactive approach not only secures deals but also alleviates homeowners’ cost and credit worries.

The Impact of Technology on the Roofing Industry – Tying a Bow Around This Box

Bringing together all the delicious sweets into one place is what makes a box such a favorite for any gift-giving season. Similarly, the best roofing companies become homeowner favorites by efficiently showcasing their offerings and services through technology. By doing so, you become the go-to choice for anyone in need of a reliable roofing contractor and here’s why:

Enhanced Customer Satisfaction: By addressing key concerns around cost and time, technology-enhanced processes lead to higher levels of customer satisfaction. Homeowners appreciate the transparency, efficiency and accuracy that technology brings to their roofing projects.

Operational Efficiency: For contractors, the integration of technology into their workflows results in significant gains in efficiency. Automated tools and systems reduce manual labor, minimize errors and optimize project management, leading to improved margins and business growth.

Competitive Advantage: Roofing companies that embrace technology differentiate themselves in a crowded market. Contractors can stand out from

What's Wrong with These Pictures?

their competitors by offering innovative solutions and demonstrating a commitment to using technology to improve customer experience.

Looking Ahead: The Next New Flavors

As technology continues to evolve, its role in the roofing industry is set to expand further. Emerging technologies, such as artificial intelligence (AI) and machine learning, promise to bring even greater efficiencies and innovations. From predictive analytics for assessing roof lifespans to advanced project management tools, the future of roofing is undeniably tech driven.

Embracing the intersection of technology and roofing is a game-changer for homeowners and contractors alike. With the power of technology on your side, you can guarantee that every roofing project is a delightful box of chocolates, leaving customers thrilled and eager to spread the word. This means more referrals and increased revenue coming your way.

Dan Shurtz is the Executive Vice President and Partner at Aletheia Digital and QuickQuote for Roofs. Dan is passionate about helping individuals and businesses reach their full potential through strong relationships and focused execution. He understands that each business is unique, just like the people behind them. Dan has built a successful career by understanding the distinct qualities of each client and their business and by providing customized solutions that yield exceptional results.

Frm

Creating an OSHA Heat Plan

Every year, dozens of workers die and thousands more become ill while working in hot or humid conditions. OSHA’s Heat Illness Prevention campaign educates employers and workers on heat hazards and provides resources to keep workers safe.

Employer Responsibility

– It’s the Law!

Employers have a duty to protect workers against heat. Employers have a legal and moral responsibility not to assign work in high-heat conditions without protections in place for workers, where they could be literally worked to death. To accomplish this, OSHA recommends creating a heat plan to advise employers and workers on the effects of working in heat.

Planning and Supervision

Heat-related illness can affect workers in many industries, at indoor or outdoor worksites. Some job-related risk factors include:

■ Outdoor work in warm weather

■ Heat sources such as fires or hot tar

■ Strenuous physical activity

■ Heavy or non-breathable work clothes. When these (or other) heat hazards are present, employers should plan ahead to protect workers.

Creation of a Heat Illness Prevention Plan

Employers should create a written plan to prevent heat-related illness. Use the tools on OSHA’s website, www.osha.gov/heat to assist. Important elements to consider when creating the heat plan are:

■ Who will provide oversight on a daily basis?

■ How will new workers gradually develop heat tolerance?

■ Temporary workers may be more susceptible to heat and require closer supervision.

■ Workers returning from extended leave (typically defined as more than two weeks) may also be at an increased risk.

■ How will the employer ensure that first aid is adequate and the protocol for summoning medical assistance in situations beyond first-aid is effective?

■ What engineering controls and work practices will be used to reduce heat stress?

■ How will heat stress be measured?

■ How to respond when the National Weather Service issues a heat advisory or heat warning?

■ How will we determine if the total heat stress is hazardous?

■ What training will be provided for workers and supervisors?

Day-to-Day Supervision

Heat conditions can change rapidly and management commitment to adjusting heat stress controls is critical to prevent heat illness. An individual at the jobsite should be responsible for monitoring conditions and implementing the employer’s heat plan throughout the workday. This individual can be a foreman, jobsite supervisor, plant manager, safety director or anyone else with the proper training that includes knowing how to:

■ Identify and control heat hazards

■ Recognize early symptoms of heat stress

■ Administer first aid for heat-related illnesses

■ Activate emergency medical services quickly when needed.

Ideally, the individual who is responsible for the heat plan should be onsite, where the workers are. Onsite monitoring allows accurate determination of heat stress. In some industries with a widely distributed workforce, onsite monitoring might not be feasible. In those cases, the responsible individual at the site should be fully trained on the means and methods to contact and report to the employer any adverse heat related conditions that may develop on the site as well as any signs and symptoms of heat-related illness experienced by any of the workers. The responsible individual in a central location should gauge heat stress using the best available methods for remote estimation. OSHA’s website provides webinars, tools, apps, resources, downloadable documents and detailed information for employers to create an essential heat plan.

OSHA’s Heat Injury and Illness Prevention in Outdoor and Indoor Work Settings proposed rule has been published in the Federal Register and is now available for viewing at www.floridaroof.com/osha-heat-proposal. OSHA encourages the public to submit comments to the Heat Injury and Illness Prevention rulemaking docket at www.floridaroof.com/osha-heat-comments. The comment period is open until December 30, 2024. Additional information on OSHA’s rulemaking process and how stakeholders can participate is available at www.floridaroof.com/osha-process.

Mental Health is Still a Top Construction Issue – a Benefits Strategy Adjustment Can Help

Vince Hafeli, President of a Florida paving company, has become one of the construction industry’s leading speakers and consultants on the need to improve mental health supports, after nearly committing suicide himself in 2007.

He and other industry leaders like Brian Murray, Chief Executive of Minneapolis-based Ryan Companies, U.S., Inc., understand that leading by example and sharing their own pain goes a long way toward destigmatizing the mental health issue that’s been an industry epidemic. Telling his employees about his severe depression led one to contact Murray directly asking for help.

The issue has been well-documented, with 89 percent of construction workers likely to experience moderate to severe mental health issues and the industry having one of the highest suicide rates of any industry group. Firms have responded with beefed up support. One trend is through the kind of leadership and awareness building that Hafeli and Murray exemplify. But an American Psychiatric Association (APA) Foundation survey also found more resources offered like Employee Assistance Programs (EAPs) (63 percent), toolbox talks (54 percent) and email updates on mental health matters (33 percent), can bring more awareness around the importance of mental health and encourage employees to seek help.

But is it Helping?

It’s worth asking: Are such efforts working? In fact, surveys of broader employer/employee populations suggest a worrisome disconnect between employer’s support and employees’ ongoing mental state.

Workers are still struggling, according to a Deloitte and Workplace Intelligence survey that finds one-third are always or often irritable, lonely or depressed and they don’t believe their managers care. Meanwhile, 94 percent of large employers strengthened their programs last year and 74 percent of employers generally intend to increase their commitment. Still, only half of workers have seen it, only 40 percent think it’s being done well and 55 percent don’t understand their benefits.

In construction specifically, employers themselves admit that some of their most common supports probably have the least value as they are now structured. That APA survey, for example, found that only 48 percent of employers and 39 percent of their leaders, considered EAPs helpful to their workers. What was ranked most important were supervisor

and employee training (69 and 66 percent), each only provided by 25 percent of employers.

Benefits and support programs are often structured in a way that adds to the problem. EAPs are fine but usually only offer a few therapy sessions – not necessarily sufficient to address the employees’ needs. Employers that offer a health plan must cover mental health but those benefits can be limited. Just accessing help can be a challenge, from obtaining referrals, retrieving payment accounts, meeting deductibles to even finding an available mental health professional.

Fixing the Disconnect

Company leaders need to examine their mental health benefits plan to find ways to layer elements in order to plug the gaps. They need to understand what employees need. They must enlist an experienced insurance partner with innovative solutions. That’s the way to design a comprehensive mental well-being strategy that will provide the resources workers truly need.

Here is a five-step approach to spearheading meaningful changes:

■ Analyze the data. Review claims history, including healthcare and disability claims, costs and duration of leave and prescription drug use. If mental well-being has been largely ignored, it will be reflected in rising claims costs in those areas.

■ Use data to identify the gaps. Analytics can help answer such questions as: Can employees access counseling without paying a high deductible? Can they find providers willing to take their insurance? Are enough sessions provided through the EAP/EFAP and are employees even aware of the benefit? Are workers in different demographics disproportionately using or finding it difficult to access the benefits?

■ Up your communication. An organization-wide mental health awareness campaign can help destigmatize mental health issues and make employees aware of available resources. Mandatory

Continued on page 35

Tibor Torok, Bob Hilson & Company, Inc., President and Senior Partner, Homestead

Tibor has worked for Bob Hilson & Company for 36 years. He serves on FRSA’s Executive Committee as President-Elect. Tibor also serves on the Codes and Governmental Affairs Committees and is a member of FRSA’s Board of Directors. In addition, Tibor is active in his local Affiliate, the Roofing Contractors Association of South Florida (RCASF), where he has served as President.

How did you get started in the roofing industry? In the early 80’s I was working in the oil industry as a “mud hand” in Wyoming. When they cut back on exploration, I was laid off. My aunt and uncle owned a roofing company, Harper & Son, in Medley, and needed someone to be an estimator. They offered to bring me in and teach me the business. I started working on the roofs and going out with my uncle to run reroof calls. My first day on the job, we had a high lift that would go 14 feet, the roof was 18 feet, so my cousin and I shoveled gravel over our shoulders all day.

What’s your favorite part of the job? I am not particularly an office person. I like being outside, going to new places and meeting new people. Some of the views on the roofs between Miami and Key West have been spectacular over the years. I have never felt like a “salesman,” I always felt as though I was helping them solve a problem keeping their property safe and in good condition to protect their family.

What’s the most unusual roofing project that you’ve been a part of? There is a private island off Marathon called Sea Bird Key. The house reminded me of Swiss Family Robinson. It’s not a tree house but it sits up on stilts, a wooden two-story (three including the stilts), a widows walk, floor to ceiling wood slatted jalousie windows, outside cooking area and showers. We installed an Englert 1300 Series .040 aluminum standing seam roof over a 10:12 exposed roof deck. Then added aluminum half round gutters for freshwater reclamation. Then we used S-5 clips to install solar panels

for electricity. Since this was an island home, we had to float all materials and debris on a barge and then unload by hand. During the course of this job, we had a waterspout come within 50 or so yards of the island. How do you define success? Success for me is being proud of what you have accomplished and how you have affected, in a positive manner, those along the journey with you.

What inspired you to join FRSA? FRSA is full of highly intelligent roofing professionals that want to help those with the desire to succeed. There is no better way to become a successful professional than to associate with and emulate those that have come before you. Bob Hilson has had the biggest influence on my roofing career.

What do you personally find most rewarding about being involved with FRSA? The diversity of the membership, the bond and comradery of those involved. The time to interact as a group to share ideas and ideals to make the roofing industry as good as it can be.

What advice would you give to someone interested in joining the roofing industry? Roofing is a customer service business. It’s hot, it’s hard work, it’s challenging, and it can be dangerous! But the rewards are infinite. People will rely upon you to provide them with a roof that will protect their home and family for many years. You get to be outside on some of the prettiest days and meet some very fine and interesting people. There are three simple things to remember in roofing: Sell the work, do the work, collect the money. The spaces in between are the tasks that must be done to move from one phase to the next.

What do you consider a waste of time? Spending your time dwelling on why you cannot do something rather than concentrating on HOW you can accomplish the goal. I tell my children and team members every obstacle is like a brick wall: you can stand there and do nothing or butt your head into it and never get

anywhere OR you can figure out how to go over it, under it, around it or through it.

What’s your favorite vacation? There is no single place or thing but the thread that connects them all is: sharing adventures with those I love, my wife, children and grandchildren. Some of the places we have been to and explored include a cabin in the Northwest Georgia mountains, Jackson Hole, Tybee Island, Sedona, hot air ballooning in New Mexico, White mountains in New Hampshire, the desert mountains around El Paso and walking the Civil War battle fields in Virginia and North Carolina. We took our grandchildren and swam with the manatees and dolphins. I am truly blessed and have found beauty and wonder everywhere I have ever been.

What’s your favorite pastime activity? I love outdoor activities both on land and water. Boating, hiking, diving and snorkeling, target and clay shooting. Currently for weekend relaxation, my wife Toni and I will piddle

Mental Health, continued from page 33

mental health training for managers and optional mental health support training for all interested employees will help leaders identify any who may be struggling.

■ Consider adding more robust mental health sup ports. This might include providing more mental wellness care under the company health plan, adding a meaningful number of therapy visits to an EAP/ EFAP, offering digital options or carving out mental health and contracting with a third-party vendor that offers enhanced support.

■ Make sure leadership supports the strategy. Leadership should be committed and accountable for creating the psychologically safe workplace employees need. Obtaining executive support and ensuring they act as mental wellness role models will be paramount for a successful program.

Stephanie Wainwright is an Employee Benefits Practice Leader for Hub International insurance brokerage in Florida, consulting with clients to develop successful benefits programs. She has led

around the yard until it gets too hot, then we grab a beer or two or six and soak in the pool under an umbrella.

Where would your ideal place to live be and why? Toni and I are water babies, so a temperate climate somewhere on the water. I want to jet ski and she wants a pontoon boat. We are considering the Lake Placid area, Lake June in particular, that way we won’t have to evacuate in the event of a hurricane. What would surprise others to learn about you? After I got laid off in Wyoming, before becoming a roofer, I was going to college in Texas on my GI Bill. Much to my then wife’s chagrin, my brother-in-law, a Dallas city detective, got me a job working as a bouncer and eventually a relief manager at three topless bars in Dallas – Southern Belle, Minsky’s and Déjà Vu. I had to quit because somehow the dancers started calling my house.

alternative funding arrangement and cost containment solutions and understands the needs of aligning

THE EXPERTS IN METAL ROOFING ABOVE AND BEYOND THE ROOF

On-Site roll forming

Fast Deliveries

Free Metal Quotes by EZtimate

Military and first responder discounts

Florida Product Approvals or Miami-Dade NOAs on all products

Wide selection of panel systems – over 70 different options

6040 Old Dixie Highway, Vero Beach, FL 32967

2836 NE Waldo Road, Gainsville, FL 32609

2160 SW Poma Drive, Palm City, FL 34990

99450 Overseas Hwy, Key Largo, FL 33037

Turn static files into dynamic content formats.

Create a flipbook
Issuu converts static files into: digital portfolios, online yearbooks, online catalogs, digital photo albums and more. Sign up and create your flipbook.