The Friendly City Spotlight | August 29, 2024

Page 1


SPOTLIGHT The Friendly City

Brandon Keck, the City’s Arborist, is seen here in his natural habitat. His dedication to preserving and enhancing the city's green spaces shines through in every leaf he nurtures. With a love for trees that runs deep, Brandon makes sure our trees continue to thrive for current and future generations

The Friendly City SPOTLIGHT

CITYWIDE PAVEMENT MAINTENANCE

Beginning July 1, the Preventative Maintenance (slurry seal) Project started across 162 streets within the City of Rohnert Park

Preventative maintenance improves roadway pavement conditions and longevity. Work includes street cleaning, removal, and replacement of striping, crack sealing and slurry seal of the affected roadways. The majority of crackseal and slurry seal work has now been completed, however there may be localized áreas of clean-up work The contractor is now replacing the striping over the slurry-sealed roads. During striping placement, the roadways will remain open but may have momentary closures. Work is expected to be completed by the middle of September

Details about the project, including the most current schedule, are available here.

Questions?

Contact Jason Sampietro, Associate Engineer, in our Public Works Department at (707) 5882235 or jsampietro@rpcity.org.

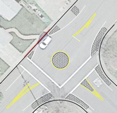
ROUNDABOUTINSTALLATION

Public Works Staff will be installing a modular roundabout at the intersection of Arlen Drive and Almond Street as part of a pilot project to reduce speeding in neighborhoods. Work is expected to take place this week and next

This installation of roundabouts generally results in:

Reduced speeding

Reduced fatal and severe motorist accidents

Increase bicycle and pedestrian safety

Questions?

Contact Jason Sampietro, Associate Engineer, in our Public Works Department at (707) 588-2235 or jsampietro@rpcity.org

Conceptual image
Similar installation in San Francisco California

HOUSING FAIR

Join us at the Rohnert Park-Cotati Regional Library (6250 Lynne Conde Way, Rohnert Park) on Saturday, September 14 from 10 a.m. to 1 p.m. for a housing fair.

The fair will include a workshop on landlord/tenant rights from 11 a.m. to noon, activities, community services, and a food truck.

SPRECKELS PERFORMING ARTSCENTER 2024-25

SEASON

Spreckels is delighted to announce our 2024/25 Season! Our entertaining and inspiring selection of plays ensures there’s something for everyone to enjoy in this exciting season. We look forward to seeing you at the shows!

For tickets and more information, click here.

The season begins with You're A Good Man, Charlie Brown (revised) from August 30 to September 15, 2024. The beloved Peanuts characters spring to life in a charming and tuneful musical that celebrates the simple joys of being yourself.

Next, we celebrate the legendary music and life of Carole King in Beautiful: The Carole King Musical, running from September 27 to October 13, 2024 This Broadway hit offers dozens of Carole King's hit songs while sharing her journey from teenaged wunderkind to superstar.

Step back in time with It's A Wonderful Life: A Live Radio Play, running from November 22 to December 15, 2024. This delightful adaptation of the beloved holiday classic is presented in the style of a 1940s radio broadcast.

In a special, one-weekend-only holiday event from December 13 to 15, 2024, we offer the inspiring true story of camaraderie, music, and peace in All Is Calm: The Christmas Truce of 1914. (This is a special event, and not included in the subscription series )

The new year begins with Mary Shelley's Body, from January 24 to February 2, 2025. This one-woman show featuring Spreckels Artistic Director, Sheri Lee Miller, imagines the deceased writer of "Frankenstein" telling the story of her life, loves, and the terrifying secret she took to her grave. An exciting mix of fact and fiction

In March, we offer the sensitive and riveting drama Morning Sun by Simon Stephens, running from March 14 to 30, 2025. Set in Greenwich Village a generation or so ago, this piece reveals one woman’s life, from birth to death, highlighting the inherent interest and worthiness of every life story.

We close the season with the classic Sondheim musical, Company, running from May 2 to 18, 2025. We join Bobby as he navigates love, friendship, and self-discovery in this musical-comedy filled with Stephen Sondheim's sensational score and razor-sharp wit.

Our STEP (Spreckels Theatre Education Program) Productions also bring familyfriendly fun with Disney’s Frozen Jr. from February 14 to 23, 2025. Our STEP musical theatre camps are designed to inspire and entertain, offering a special opportunity for young performers to build skills, make friends, and discover new talents!

LOCAL HAZARD MITIGATION PLAN UPDATE

The city is beginning an update of its Local Hazard Mitigation Plan!

This plan helps protect public safety, reduce harm to existing and future development, and prevent damage to economic, cultural, and environmental assets. Having an approved plan will also ensure that Rohnert Park can be reimbursed for expenses by FEMA in the event of a natural disaster.

GOT E-WASTE?

Zero Waste Sonoma partners with Conservation Corps

North Bay to host free collection events for e-waste. Bring your e-waste and join us at the next event! Appointments are not required.

For more information, including what is, and is not accepted at the collection events, please click here. FRIDAY,SEPTEMBER13SUNDAYSEPTEMBER15,2024

9:00A.M.TO5:00P.M.

ROHNERTPARK COMMUNITYCENTER PARKINGLOT (5401SNYDERLANE)

“GOREQUEST” SMARTPHONEAPP

The City of Rohnert Park offers an easy way to sub it t b t ffiti l d i stor mor Sca here sma Play Pref Visit Issu Report concerns from wherever you are! GoR duri If yo plea

Where Friends Become Family

PETS OFTHE WEEK!

Discover a world of cuddly companions waiting to find their forever homes at the Rohnert Park Animal Shelter! Located at 301 J Rogers Lane off Redwood Drive, our doors are open from Wednesday to Sunday, 1:00 - 5:30 p m

To ensure you receive the best experience, we recommend giving us a call at (707) 584-1582 to schedule your visit. Complete and submit an adoption questionnaire before arriving to streamline the process, ensuring more quality time with your potential new family member.

View all our charming animals and access the adoption questionnaire at rpanimalshelter.org. Your search for your new BFF (best furry friend) begins today!

INTERESTED IN VOLUNTEERING?

The Animal Shelter is in need of volunteers for the following positions:

Front Office Wednesdays 1:00 p.m. – 5:30 p.m.

Kennel Assistant Tuesdays 9:00 a.m. – 11:00 a.m. Wednesdays 9:00 a.m. – 11 a.m.

If you’re interested, please complete an application, here.

REIKO PANDA

Meet Reiko, the paws-itively adorable 6year-old Husky/White Shepherd-mix As if anything that is 104 lbs can be called adorable!

Reiko knows that people are the ticket to all good things, and her weight is proof that she knows how to work her charm. She's been known to get along with felines, too, however, when it comes to other dogs, she can be a bit choosy, preferring big boys over someone that she might accidentally step on and hurt. Reiko is on the lookout for a family that will help her lose a couple of pounds –times ten She's a dream to walk (though she might insist on a few snack rewards) and absolutely adores kids, making her the perfect addition to a family with little ones. Could Reiko be your new furry BFF?

Meet Panda, the adorable spayed female domestic short hair who's about eight years young! With her striking looks and sweet personality, Panda is ready to be your one and only. She loves cuddles but can sometimes get a bit carried away, leading to playful nibbles Because of this, she would thrive in a home with adults who understand her limits of love and attention.

Panda is best suited to be the sole pet in your household, where she can shine as the star she is.

Ready to welcome a sweet and spirited companion into your life?

HOT AUGUST ADOPTION SPECIAL

Rohnert Park Animal Services is offering 50% off all adoption fees through the end of August!

All animals have been health checked, vaccinated, dewormed, Felv/FIV or heartworm tested, microchipped and spayed or neutered.

Take your new BFF (best furry friend) home with a free small bag of food, a toy, collar, a personalized ID tag, and a leash or cardboard carrier!

For more information, please click here.

JOINTHE COMMUNITY ROUNDTABLE

The Community Round Table (CRT) is a bridge between the City of Rohnert Park and our community.

The CRT facilitates conversations and strengthens relationships. It lets City leadership know about the community’s views and concerns on public safety matters. These conversations are the guiding focus of our law enforcement services

The Community Round Table is comprised of a diverse group of people who care about our community.

This includes those who live and work in Rohnert Park. Members of the Round Table meet every other month to discuss a range of topics related to policing and community engagement. Members also take part in community outreach, police events, ride-alongs, tours, and more.

We are currently accepting applications for the 2024 Community Round Table. If you are interested in contributing to the direction and focus of Rohnert Park’s public safety and working together to best serve our community, please apply! The application period will remain open until positions are filled.

Learn more and apply at rpcity org You may also apply in person at Rohnert Park Public Safety (500 City Center Drive).

JOINOUR TEAM!

Looking to apply for a new position, or know someone interested in joining our team?

Check out our latest open positions! Click here to learn more or apply.

COLLECTION SYSTEM OPERATOR I/II/III

$60,962.04 - $81,792.36 Annually Open until filled

LATERAL PUBLIC SAFETY OFFICER

$7,541.99 - $10,722.37 Monthly Continuous

ANIMAL SHELTER ATTENDANT (2) (PART-TIME)

$18.00 - $21.00 Hourly Open until filled

FACILITY ATTENDANT (2) (PART-TIME)

$18.00 - $21.00 Hourly Open until filled PUBLIC SAFETY OFFICER TRAINEE

$5,428.42 Monthly Continuous

PUBLIC WORKS OPERATION MANAGER GENERAL SERVICES

$121,712.40 - $147,942.84 Annually Closes August 30, 2024 | 5:00 p.m.

SEASONAL MAINTENANCE ASSISTANT - TREES (PART-TIME)

$21.00 - $24.00 Hourly Closes September 10, 2024 | 12:00 p.m.

SCHOOL ISBACKIN SESSION!

TRAFFIC SAFETY SHOULD BE A PRIORITY FOR EVERYONE

As the school season begins, we would like to remind our community that traffic safety is everyone’s responsibility

Like a team sport, traffic safety asks every person traveling in our city, including those in a car, on a bike or scooter or on foot, to do their part. Paying attention to our surroundings and following the rules of the road ensures traffic safety

To increase safety in school zones and near bus drop off locations, we encourage drivers to pay special attention

Help us win big, by following the following rules of the road:

Follow the speed limit and slow down for pedestrians and bicycles

Slow down at intersections and resist the urge to race through yellow lights

Stop completely at stop signs and be attentive at crosswalks and unmarked corners before proceeding

Stay alert for bikes, children, and animals that might unexpectedly appear from behind cars and into the streets

Never pass on the wrong side of the road, or around vehicles stopped at crosswalks, as there may be people crossing that you can’t see

Never drive under the influence of alcohol and/or drugs

Do not text and drive or participate in activities that impair your driving ability

Always use turn signals to indicate where you are going

Be extra cautious when backing up and look for pedestrians, bikes, and animals

Use extra caution when driving in hard-to-see conditions, such as nighttime or bad weather

Make sure your headlights and windshield wipers are in working condition, and use them when appropriate

Yellow flashing lights on a bus tell us that it is getting ready to stop to load or unload children. You should slow down and be ready to stop your vehicle.

Red flashing lights and extended stop arms on a bus tell us the bus has stopped and children are getting on or off You must stop your car and wait until the red lights stop flashing, the extended stop-arm is withdrawn, and the bus begins moving before you can start driving again

Make sure you have a valid California Driver’s permit if you’re operating a scooter This means you must be at least 15.5 years old.

Thank you for practicing good driving habits!

LOCAL BUSINESS SPOTLIGHTS

The Rohnert Park Business Spotlight is your and the City’s chance to give a special “thank you” to all those unique, fun, and community businesses that make Rohnert Park a great place to live, work, and eat!

We love to take the time to visit with our local business owners, write a little about their business in The Friendly City Spotlight, and feature their business on the City’s social media platforms.

Head on over to our new Rohnert Park Business Spotlight Form today and nominate your business. You can choose your best time to be contacted by our Economic Development team and what you would like to feature.

Maybe you have a business milestone coming up, are new to the Rohnert Park business family, or maybe you want to let everyone know something unique about your business.

Whatever it is, we are looking forward to hearing from you!

#CONNECT

FUNDEMONIUM’S ULTIMATEPARTY

In this episode of our Local Business Spotlight, we visit Fundemonium on the eve of their 20th business anniversary and their 10th year with the Rohnert Park family! Before we get into the festivities, let’s learn a little about how Fundemonium got their start.

In 2004, Fundemonium owners Steve and Jean Elliott started Fundemonium in their 6,000 sq.ft. store in Petaluma. Steve had grown tired of working from one tech job to the next whilst staring at the inside of a cubicle and wanted to do something more creative. Steve and Jean’s idea was driven by the lack of toy and hobby supply options back in the 1990s and 2000s Back then, it seemed every hobby had their own specialty store, where many parents spent time driving back and forth to finish that one project their family was working on Also, many of those stores were not terribly accessible to beginner hobbyists or families. However, toys and hobbies are only part of the Fundemonium magic. Parties and hobby gatherings are what make Fundemonium a special place.

Interested in Warhammer 40K? Want to test your mettle in a Pokemon League Challenge? Are you a budding Dungeon Master looking to take your skills to the next level? Celebrating a birthday party and want something different than arcades and climbing places? You can book an RC Car, Slot Car, Bot bash, or Lego party and leave the planning and clean up to Fundemonium

This anniversary is special to the City of Rohnert Park as well, as this is the 10year anniversary of Fundemonium in Rohnert Park. In 2014, Fundemonium was growing out of their 6,000 sq.ft store in Petaluma and needed room to expand. Steve and Jean found Rohnert Park to be a perfect location to serve their Santa Rosa, Petaluma, and Rohnert Park customers while staying centrally located. While most stores seem to be in a hurry for you to make a purchase and leave, Fundemonium believes you should “stay and play”.

When you enter Fundemonium, you can expect a warm greeting and expert help and guidance (if you need it) looking for that new hobby or shopping for a gift.

Everyone is invited to come to Fundemonium on Saturday, August 31 at 10:00am for “Fundemonium's Ultimate Party in a Toy Store” celebrating 20 years of fun!! The party will feature free cupcakes; free hot dogs from 11am to 2pm; a gift bag with purchase; raffle tickets for prizes given with every $20 purchased; free raffle ticket with social media check-in; 20% off basket sale; 20% off any party reservation; and 2 for 1 activities. If you would like a sneak peek of the raffle prizes, head over to Fundemonium’s page to check them out. For all you BattleBots® fans, Zach Lytle from Team Skorpios will make an appearance with his BattleBot® Skorpios!

MEET YOUR CITY COUNCIL

The Rohnert Park City Council is elected by the Rohnert Park voters to serve for four year terms There are five members of the Council, including a Mayor and a Vice Mayor.

The City Council adopts goals and policies during Council meetings to set the direction for the City. The Council approves and adopts the City's Financial Plans, General Plan and the Capital Improvement Plan

The City Council appoints the City Manager, the City Attorney, and members of City Commissions, Committees, and Boards.

To find your district, please click here and simply type in your address at the top-right search bar of the interactive map.

Council District 5

Phone: (707) 899-3085

sadams@rpcity.org

Council District 3

Phone: (707) 899-3087

ggiudice@rpcity.org JACKIE ELWARD COUNCILMEMBER

Council District 4

Phone: (707) 899-3086

jelward@rpcity.org

SAMANTHA RODRIGUEZ COUNCILMEMBER

Council District 1

Phone: (707) 899-3092

srodriguez@rpcity.org EMILY SANBORN COUNCILMEMBER

Council District 2

Phone: (707) 899-3088

esanborn@rpcity.org

CITYCOUNCIL MEETINGS

The City of Rohnert Park welcomes your participation at City Council meetings at 5:00 p m , on the second and fourth Tuesdays of every month.

If you are interested in learning about issues going on in your own backyard, community events, and other hot topics, please feel free to watch on Cable Channel 26, YouTube, or by clicking here.

Come get involved!

Want to receive email notifications when agendas are posted? Subscribe here.

UPCOMING CITY COUNCIL MEETINGS

Tuesday, September 10, 2024 | 5:00 p.m.

Rohnert Park City Council Chambers

130 Avram Avenue, Rohnert Park

Tuesday, September 24, 2024 | 5:00 p.m.

Rohnert Park City Council Chambers

130 Avram Avenue, Rohnert Park

Sign-up for agenda posting notifications

Visit Meeting Central here to sign-up for email updates

Review Agenda Materials

Visit Meeting Central at here to view agenda materials for upcoming and past meetings

Attend the meeting in-person or watch live from home

Meeting Central YouTube Cable Channel 26

Provide Public Comment

Provide public comment in-person during the meeting or from home by emailing your comment to publiccomment@rpcity.org

Turn static files into dynamic content formats.

Create a flipbook
Issuu converts static files into: digital portfolios, online yearbooks, online catalogs, digital photo albums and more. Sign up and create your flipbook.
The Friendly City Spotlight | August 29, 2024 by rohnertparkcity - Issuu