IM | Lot 42/44 Ellengowan Street, Urangan

Page 1

Information Memorandum

RWC Northern Corridor Group

LOT 42 / 44 ELLENGOWAN STREET, URANGAN QLD 4655
THE OPPORTUNITY 3 EXECUTIVE SUMMARY 5 FLOOR PLAN 7 ZONING 8 LOCATION 9 DISCLAIMER 11 Marketing Agents Contents Samuel Hoy Sales & Leasing Executive 0423 795 273 samuel.hoy@raywhite.com raywhitecommercialncg.com.au

The Opportunity

Samuel Hoy of the Shadforth Commercial Property Team is pleased to present Lot 42/44 Ellengowan Street, Urangan to the market for sale.

Located in the airport precinct, the site is well positioned to capitalise on the growth Hervey Bay is experiencing as it allows for great access for logistics and convenience for locals.

The site is currently being used as self storage for cars, boats and caravans with potential for future development and income streams subject to Council approvals.

Property Highlights

● Site area: 4,616m2*

● Storage shed 486m2*

● Concrete car parking 45m2*

● Hardstand 75% of the allotment

● Fully enclosed with security fence, keypad entry & 3 x security cameras

● Approval for storage of 24 shipping containers

● Approval for additional 600m2* storage shed

● Mixed use zoning

● Close proximity to Hervey Bay Airport

* Outline and location indicative

Executive Summary

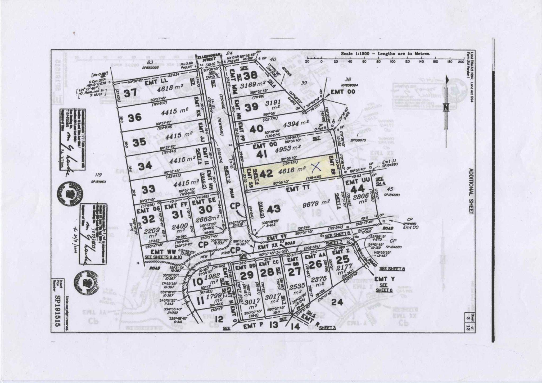
ADDRESS Lot 42 / 44 Ellengowan Street, Urangan QLD 4655

PROPERTY DETAILS Lot 42 on SP191515

BUILDING AREA 486m2*

LAND AREA 4,616m2*

LOCAL AUTHORITY Fraser Coast Council

ZONING Mixed Use Zone

FOR SALE Offers over $900,000 + GST

Management Fee: $4,200

Electricity: $1,284

Security: $528

OUTGOINGS

Body Corp: $1,882

Rates & Water: $2,904

Total Outgoings: $10,798pa (approx)

Floor Plan
Zoning

Fraser Coast Lifestyle Overview

The Fraser Coast is one of the most sought after destinations in Australia. This region ticks all the boxes for lifestyle, family and work goals.

IMAGE

People are drawn to the Fraser Coast because of its relaxed and safe lifestyle, temperate climate, stunning natural setting, affordability and its progressive business culture that encourages investment and growth.

The Fraser Coast region has two public hospitals (Hervey Bay Hospital and Maryborough Hospital) and two private hospitals (St Stephens Hospital at Hervey Bay and Maryborough). The main retail areas on the Fraser Coast are the Hervey Bay CBD and Maryborough CBD.

The Fraser Coast & Hervey Bay is a hub of activity right now, with plenty of developments underway such as; large format retail development anchored by Spotlight and Anaconda, $55 million dollar Bunnings development, redevelopment of council building to library and council administrations centre and $60 million dollar hotel development. Including the recently announced construction of a purpose building facility to construct 65 passenger trains, part of the $7billion investment for Queensland Train Manufacturing program.

* Outline and location indicative

The information contained in this Information Memorandum and any other verbal or written information given in respect of the property (“Information”) is provided to the recipient (“you”) on the following conditions:

1. North Coast Commercial Properties Pty Ltd trading as Ray White Northern Corridor Group and or any of its officers, employees or consultants (“we, us”) make no representation, warranty or guarantee, that the Information, whether or not in writing, is complete, accurate or balanced. Some information has been obtained from third parties and has not been independently verified. Accordingly, no warranty, representation or undertaking, whether express or implied, is made and no responsibility is accepted by us as to the accuracy of any part of this, or any further information supplied b y or on our behalf, whether orally or in writing.

2. All visual images (including but not limited to plans, photographs, specifications, artist impressions) are indicative only and are subject t o change. Any measurement noted is indicative and not to scale. All outlines on photographs are indicative only.

3. The Information does not constitute, and should not be considered as, a recommendation in relation to the purchase of the property or a solicitation or offer to sell the property or a contract of sale for the property.

4. You should satisfy yourself as t o the accuracy and completeness of the Information through your own inspections, surveys, enquiries, and searches by your own independent consultants, and we recommend that you obtain independent legal, financial and taxation advice. This includes as t o whether any listing price is inclusive or exclusive of GST.

5. We are not valuers and make no comment as to value. “S old/ leased” designations show only that stock is “currently not available” – no t that the property is contracted/ settled. If you require a valuation we recommend that you obtain advice from a registered valuer.

6. The Information does not and will not form part of any contract of sale for the property. If an interested party makes an offer or signs a contract for the property, the only information, representations and warranties upon which you will be entitled to rely will be as expressly set out in such a contract.

7. Interested parties will be responsible for meeting their own costs of participating in the sale process for the property. We will not be liable to compensate any intending purchasers for any costs or expenses incurred in reviewing, investigating or analysing any Information.

8. We will not be liable to you (to the full extent permitted by law) for any liabilities, costs or expenses incurred in connection with the Information or subsequent sale of the property whatsoever, whether the loss or damage arises in connection with any negligence, default or lack of care on our part.

9. No person is authorised to give information other than the Information in this Information Memorandum or in another brochure or document authorised by us. Any statement or representation by an officer, agent, supplier, customer, relative or employee of the vendor will not be binding on the vendor or us.

10. To the extent that any of the above paragraphs may be construed as being a contravention of any law of the State or the Commonwealth, such paragraphs should be read down, severed or both as the case may require and the remaining paragraphs shall continue to have full force and effect.

11. You may not discuss the Information or the proposed sale of the property with the vendors or with any agent, friend, associate or relative of the vendor or any other person connected with the vendor without our prior written consent. We accept no responsibility or liability to any other party who might use or rely upon this report in whole or part of its contents.

12. The Information must not be reproduced, transmitted or otherwise made available to any other person without our prior written consent.

Disclaimer

Information Memorandum

The Shadforth Commercial Property Team

Samuel Hoy

Sales & Leasing Executive

0423 795 273

samuel.hoy@raywhite.com

Cassie Mahoney

Senior Administrator

1300 255 075

cassie.mahoney@raywhite.com

Hayley Livingstone

Senior Administrator

1300 255 075 hayley.livingstone@raywhite.com

Turn static files into dynamic content formats.

Create a flipbook
Issuu converts static files into: digital portfolios, online yearbooks, online catalogs, digital photo albums and more. Sign up and create your flipbook.