SOLD: Kodiak Lodge at Larsen Bay | Fay Ranches

Page 1

KODIAK LODGE AT LARSEN BAY

Larsen Bay, Kodiak Island, Alaska

$1,950,000 | 1.5± Acres

Kodiak Lodge at Larsen Bay | Larsen Bay, Alaska

INTRODUCTION

Alaska’s Kodiak Lodge at Larsen Bay is a premier fishing and hunting destination that offers visitors a unique opportunity to experience the rugged beauty and rich culture of one of America’s last frontiers. Located on Kodiak Island, the second largest island in the United States, the luxurious lodge provides guests with world-class fishing and hunting adventures of a lifetime.

Founded in 2001, Kodiak Lodge has a long and storied history of welcoming visitors to Kodiak Island. Over the years, the lodge has developed a reputation for excellence in providing guests with the ultimate Alaskan adventure. Whether you’re an avid angler or a nature enthusiast, there’s something for everyone at Kodiak Lodge.

The lodge itself is a luxury retreat providing guests with all the comforts of home in a stunning wilderness setting. The accommodations include a main lodge featuring seven well-appointed guest rooms with four baths and a suite with two queen beds, a fireplace, and a private bath. Delicious meals using fresh, local ingredients can be enjoyed in the lodge’s spacious dining room.

One of the lodge’s main attractions is its world-class fishing. Kodiak Island is home to some of the largest salmon runs in the world and is consistently ranked as one of the top three fishing ports in the United States. Kodiak Island offers anglers an excellent opportunity to catch huge king salmon, feisty silver salmon, giant Kodiak halibut, and rockfish, all within a short boat ride from the lodge. All the professional fishing guides are US Coast Guard licensed and know the area waters like the back of their hands. Built in 2020, two 29-foot custom North River walkarounds are customized for fishing these waters while providing maximum safety and a truly comfortable ride. Located nearby, the Karluk River offers anglers a unique opportunity to wade fish in pristine water using spin rods or fly casting to catch king salmon, sockeye, silvers, Dolly Varden, and steelhead. The Zachar River is also a short boat ride from the lodge and offers access to chum salmon, feisty pinks, and chrome silvers.

In addition to fishing, Kodiak Island offers Sitka blacktail deer hunting, duck hunting, guided bear hunting, whale watching, and wildlife photography. Kodiak Lodge at Larsen Bay, Alaska, is a one-of-akind destination that offers visitors a truly unforgettable experience. Whether you’re an angler, nature lover, or cultural enthusiast, there’s something for everyone at this premier lodge.

1 www.fayranches.com | (800) 238.8616 | info@fayranches.com

QUICK FACTS

• Located on Kodiak Island in the small village of Larsen Bay, approximately 60 air miles from the City of Kodiak

• Big Game, Sitka blacktail deer, mountain goat, brown bear

• Fish for king salmon, silver salmon, halibut, yellow eye, and rockfish

• Two 29-foot custom North River boats with twin Yamaha 250hp motors and Yamaha 25hp kickers included in the sale. The motors and boats were purchased new in 2019 and 2020, respectively

• Larsen Bay is surrounded by the Kodiak National Wildlife Refuge, a 2,812-square-mile preserve that covers two-thirds of Kodiak Island

• The Kodiak National Wildlife Refuge is home to the famous Kodiak brown bear as well as 200 different bird species, including 600 breeding pairs of bald eagles

• Marine life includes seals, sea lions, porpoises, sea otters, whales, and puffins, which can all be viewed on a typical day

• The property has room to expand on the waterfront with an additional building the size of the current sleeping lodge

• Completely turnkey; all furnishings, tackle, rain gear, vehicles, etc., are included in the sale

• A modern marina is just a short walk from the lodge and can accommodate up to a 50-foot vessel

2
Kodiak Lodge at Larsen Bay | Larsen Bay, Alaska
www.fayranches.com | (800) 238.8616 | info@fayranches.com 3

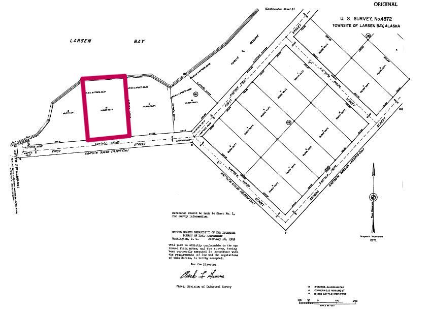
ACREAGE

• 1.5± deeded acres

The site is just over an acre with approximately 240 feet of waterfront on Larsen Bay.

4
Kodiak Lodge at Larsen Bay | Larsen Bay, Alaska
www.fayranches.com | (800) 238.8616 | info@fayranches.com 5

BUILDINGS

• Consists of two main buildings on the waterfront: the sleeping lodge and the dining lodge

• The sleeping lodge has six private rooms with four baths. The seventh room is a suite with two queen beds, a fireplace, and a private bath

• There is a two-bedroom, two-bath guest cabin with a kitchenette, wood stove, and a small living area

• The dining lodge boasts a commercial kitchen, a wood-burning stove, and an outside deck where guests can enjoy cocktails and deliciously prepared farm-to-table meals

• The crew cabin has six bedrooms and two baths, with a kitchen and living area, built in 2022

• There is a fish processing building with walk-in freezer

6
Kodiak Lodge at Larsen Bay | Larsen Bay, Alaska
www.fayranches.com | (800) 238.8616 | info@fayranches.com 7

FISHING

• King Salmon

• Red Salmon

• Chum Salmon

• Pink Salmon

• Silver Salmon

• Steelhead

• Halibut

• Rockfish

• Ling Cod

• Dolly Vardon

Kodiak Island is known for its incredible fishing opportunities, and anglers from around the world travel to the island to test their skills and reel in some of the biggest fish in Alaska. With its diverse waterways and abundant marine life, Kodiak Island offers some of the best fishing experiences in the world.

Freshwater, saltwater, and fly fishing are all available on Kodiak Island. The island is home to numerous streams and rivers that offer excellent opportunities for salmon and trout fishing, while the surrounding ocean provides some of the best halibut, lingcod, and rockfish fishing in Alaska. Kodiak Island is known for its world-class king salmon fishing, with anglers catching fish weighing up to 50 pounds.

Fishing on Kodiak Island is an unforgettable experience that offers the chance to catch some of the world’s biggest and most sought-after fish. Whether you’re a seasoned angler or a first-time fisherman, Kodiak Island is a must-visit destination for any fishing enthusiast.

8 Kodiak Lodge at Larsen Bay |
Larsen Bay, Alaska
www.fayranches.com | (800) 238.8616 | info@fayranches.com 9

HUNTING & WILDLIFE

Hunting on Kodiak Island is a unique and thrilling experience drawing hunters from all over the world. Kodiak Island, located in the Gulf of Alaska, is known for its rugged terrain and diverse wildlife, making it a prime location for hunting enthusiasts. The Kodiak brown bear is the most sought-after big game animal on the island, and out-ofstate hunters must be drawn to obtain a special permit to hunt these animals. Alaska Department of Fish and Game issues about one hundred different permits for about three hundred individual tagged hunts per year. If an out-of-state hunter is not drawn for a permit, they may obtain an overthe-counter permit to hunt in Game Management Unit 9: RB368, RB369, and RB370. This hunt is every other year; this fall, permits are available for the 2023-2024 season.

Lodge owners that want to be registered guides for brown bear hunts must obtain permits. Permits are highly coveted and not readily available for new lodge operators. Alaska

10 Kodiak Lodge at Larsen Bay | Larsen Bay, Alaska

residents can purchase tags; however, out-of-state hunters must utilize a registered outfitter for bears and mountain goats on Kodiak Island. Kodiak Lodge is located in Alaska Department of Fish and Game Management Unit 8. Harvest restrictions and limits can be found in the State of Alaska Department of Fish and Game rules and regulations.

In addition to brown bears, Kodiak Island is home to various other big game animals, including Sitka black-tailed deer and mountain goats; waterfowl hunting is also remarkable. Overall, hunting on Kodiak Island offers a challenging and rewarding experience for those willing to venture into the wilds of Alaska. With proper preparation and adherence to regulations, hunters can enjoy a memorable and successful hunting trip on this rugged and beautiful island.

www.fayranches.com | (800) 238.8616 | info@fayranches.com 11
Photo courtesy of Susanne Jutzeler-Sujufoto

RECREATION

• Whale Watching

• E-Bike Rides

• Wildlife Viewing

• Fishing • Hunting

12 Kodiak Lodge at Larsen Bay | Larsen Bay, Alaska
www.fayranches.com | (800) 238.8616 | info@fayranches.com 13

AREA HISTORY

Kodiak Island, also known as the “Emerald Isle,” is the second-largest island in the United States, located in the Gulf of Alaska. It is an isolated paradise with a rich cultural history, natural beauty, and wildlife. Larsen Bay is a small community on the west side of Kodiak Island. For thousands of years, the island has been home to the indigenous people of the Alutiiq, who have a long and complex history on the island.

The Alutiiq people have inhabited Kodiak Island for at least 7,500 years. They are part of the larger Aleutian culture group and are known for their exceptional seamanship skills, which allowed them to travel great distances in search of food and resources. They built their homes out of driftwood, grass, and animal hides, and their diet consisted of fish, game, and wild berries.

In 1741, the Russian explorer Alexei Chirikov discovered Kodiak Island. The following year, Vitus Bering, a Danish explorer in Russian service, landed on the island, and the Russians claimed it as part of their expanding empire. The Russians established the first permanent settlement on the island in 1784, called Pavlovskaya Gavan. Established to support the lucrative sea otter fur trade, the Russians dominated the region. The sea otters were hunted almost to extinction, and the trade gradually declined in the mid-19th century.

In 1867, the United States purchased Alaska from Russia, including Kodiak Island. Following the purchase, the U.S. government established the Kodiak Naval Station in 1898, a vital strategic outpost

14
Kodiak Lodge at Larsen Bay | Larsen Bay, Alaska

during World War II. The station was used to provide support for the Aleutian campaign, and the island served as a vital link in the chain of U.S. defenses in the North Pacific. Larsen Bay played a significant role in the war effort. The area was home to a naval radio station used to communicate with ships and planes throughout the Pacific Ocean. Members of the United States Navy staffed the radio station, and it remained in operation until the end of the war.

The City of Larsen Bay is located on Larsen Bay, on the northwest coast of Kodiak Island. Named after Peter Adolf Larsen, a local hunter and sailor, Larsen Bay appeared on the U.S. Census in 1940 as an unincorporated village, formally incorporated as a city in 1974. Home to one of the oldest standing canneries on Kodiak Island. It was built in 1911 by the Alaska Packers Association when it moved its packing activities from the Karluk Spit.

In 1964, a devastating earthquake struck the island, prompting the U.S. government to invest in earthquake and tsunami monitoring and preparedness, which has helped mitigate the impact of subsequent earthquakes and tsunamis.

Today, Kodiak Island is home to around 13,000 people, with the majority residing in Kodiak. The island’s economy is primarily driven by the fishing industry, with salmon, halibut, and crab being the most significant catches. The island is also home to the Kodiak National Wildlife Refuge, which covers over 2 million acres of land and is home to over 3,500 brown bears, along with a diverse range of other wildlife species.

Kodiak Island has a rich and complex history that spans thousands of years. From the indigenous Alutiiq people to the Russian fur traders, U.S. military personnel, and modern-day fishermen, the island has been shaped by various influences. Despite the many changes that have occurred over the years, Kodiak Island remains a stunningly beautiful and culturally significant place, one that is sure to captivate anyone who visits

it.www.fayranches.com | (800) 238.8616 | info@fayranches.com 15
16
Kodiak Lodge at Larsen Bay | Larsen Bay, Alaska
www.fayranches.com | (800) 238.8616 | info@fayranches.com 17
18 Kodiak Lodge at Larsen Bay | Larsen Bay, Alaska

CLIMATE

Climate data courtesy of http://www.city-data.com/city/Kodiak-Alaska.html

The climate in Larsen Bay is noticeably different than Kodiak City on the Islands south face. As a mountainous island, it has a dry side and a rainy side, much like Hawaii; Larsen Bay weather has less fog, rain, and wind.

Kodiak Island has a subarctic climate, which is characterized by cool temperatures and moderate precipitation throughout the year. The island is located in the Gulf of Alaska and experiences a maritime climate influenced by the Pacific Ocean.

The average temperature in Kodiak Island during the summer months (June to August) ranges from 50 to 60°F (10 to 15.5°C), while in the winter months (December to February), the temperature ranges from 20 to 40°F (-6.5 to 4.5°C). The island receives an average of 70 inches (1,778 mm) of precipitation per year, with the heaviest rainfall occurring during the fall and winter months.

Kodiak Island also experiences frequent storms and high winds, particularly during the winter months. The island is also prone to fog, which can occur year-round but is most common in the summer months. Overall, the climate of Kodiak Island is mild but can be unpredictable due to the island’s proximity to the ocean and the influence of weather systems moving in from the Gulf of Alaska.

www.fayranches.com | (800) 238.8616 | info@fayranches.com 19

CONSERVATION | STEWARDSHIP

Each of us at Fay Ranches loves the land and wants to see it remain a productive agricultural ground and a quality fish and wildlife habitat. Through promoting thoughtful land stewardship, Fay Ranches has guided owners toward a legacy of conserving wide-open spaces, enhancing and creating fisheries and wildlife habitats, and implementing sustainable agricultural operations. Fay Ranches is proud to say that since our company began in 1992, our clients’ conservation ethics and land-use practices have significantly enhanced our work landscape.

20
Kodiak Lodge at Larsen Bay | Larsen Bay, Alaska
www.fayranches.com | (800) 238.8616 | info@fayranches.com 21
Photo courtesy of Lisa Hupp (USFWS)

LOCATION

Kodiak Lodge is located approximately sixty air miles southwest of Kodiak City. Kodiak Lodge sits along the waterfront in the small community of Larsen Bay and is only accessible by boat or small plane. Larsen Bay is known for its beautifully rugged mountains and alpine meadows and is home to worldclass salmon runs, plentiful marine life, and the famous Kodiak brown bear. Although the location is remote, Kodiak Lodge enjoys full utility services and a modern marina located a short walk from the lodge.

22 Kodiak Lodge at Larsen Bay | Larsen Bay, Alaska
Larsen Bay

Located in the small village of Larsen Bay on Kodiak Island, Kodiak Lodge is approximately sixty air miles from Kodiak City. Flights to Kodiak arrive and depart from Ted Stevens Anchorage International Airport, with continuing service to Larsen Bay from Kodiak City with Island Air. From Kodiak Airport, it is a short 25-minute flight to Larsen Bay via Island Air. Private charters are available from Anchorage directly to Larsen Bay. Flight time via private charter is a little over an hour in a turboprop. Larsen Bay Airport is a gravel runway.

GETTING THERE AIRPORT SERVICES

Airport services are from Ted Stevens Anchorage International Airport, where Alaska Airlines has daily flights originating from Seattle.

| (800) 238.8616 | info@fayranches.com 23
www.fayranches.com
www.fayranches.com | (800) 238.8616 | info@fayranches.com 25

SUMMARY

Established in 2001, Kodiak Lodge at Larsen Bay has a long and storied history of welcoming guests to Larsen Bay and Kodiak Island to enjoy the ultimate Alaskan adventure. From wildlife encounters to arguably the most prolific fishing, Kodiak Lodge has created the ultimate in Alaska outdoor experiences. Located on the waterfront in the small village of Larsen Bay, the lodge is approximately sixty air miles from the city of Kodiak and accessible by small airplane or boat. Whether as a corporate retreat, private family compound, or a profitable fishing lodge, there are a plethora of outdoor recreational opportunities uninhibited by crowds. Enjoy the wilderness surrounded by the 2,812-square-mile Kodiak National Wildlife Refuge, a preserve that covers two-thirds of Kodiak Island. The lodge is absolutely turnkey, ready for you to embark on your next business venture or your own private getaway to enjoy with family and friends.

26
Kodiak Lodge at Larsen Bay | Larsen Bay, Alaska
www.fayranches.com | (800) 238.8616 | info@fayranches.com 27

$1,950,000

Cash or other terms acceptable to the seller

This is an exclusive co-listing with Fay Ranches, Inc and Top Shelf Realty LLC. Please contact Troy Dana at (360) 402-5500 | tdana@fayranches.com or Yvan Corbin at (907) 301-0875 | yvan@alaskatopshelfrealty . com to schedule a showing. An agent from Fay Ranches or Top Shelf Realty LLC must be present at all showings unless otherwise noted or other arrangements are made. To view other properties, fly fishing properties, and sporting ranches that we have listed, please visit our web page at www.fayranches.com.

PRICE TERMS CONTACT NOTICE

Offer is subject to errors, omissions, prior sale, change or withdrawal without notice, and approval of purchase by owner. Information regarding land classification, carrying capacities, maps, etc., is intended only as a general guideline and has been provided by the owners and other sources deemed reliable, but the accuracy cannot be guaranteed. Prospective purchasers are encouraged to research the information to their own satisfaction.

28 Kodiak Lodge at Larsen Bay | Larsen Bay, Alaska
www.fayranches.com | (800) 238.8616 | info@fayranches.com 29
TROY DANA Fay Ranches, Inc DesIgnateD BRokeR Licensed in: AK, WA c. 360-402-5500 tdana@fayranches.com FAY RANCHES INC. (800) 238.8616 info@fayranches.com www.fayranches.com YVAN CORBIN top shelF Realty, llc lIcensee Licensed in: AK c. 907-301-0875 yvan@alaskatopshelfrealty.com

Turn static files into dynamic content formats.

Create a flipbook
Issuu converts static files into: digital portfolios, online yearbooks, online catalogs, digital photo albums and more. Sign up and create your flipbook.
SOLD: Kodiak Lodge at Larsen Bay | Fay Ranches by Fay Ranches - Issuu