
Subject Property : 23843 N 73rd St Scottsdale AZ 85255
Owner Information
Owner Name : Zivyak Michael Alan
Mailing Address : 5462 S Dillon Cir, Mesa AZ 85212-5600 R158
Owner Occupied Indicator : A
Location Information
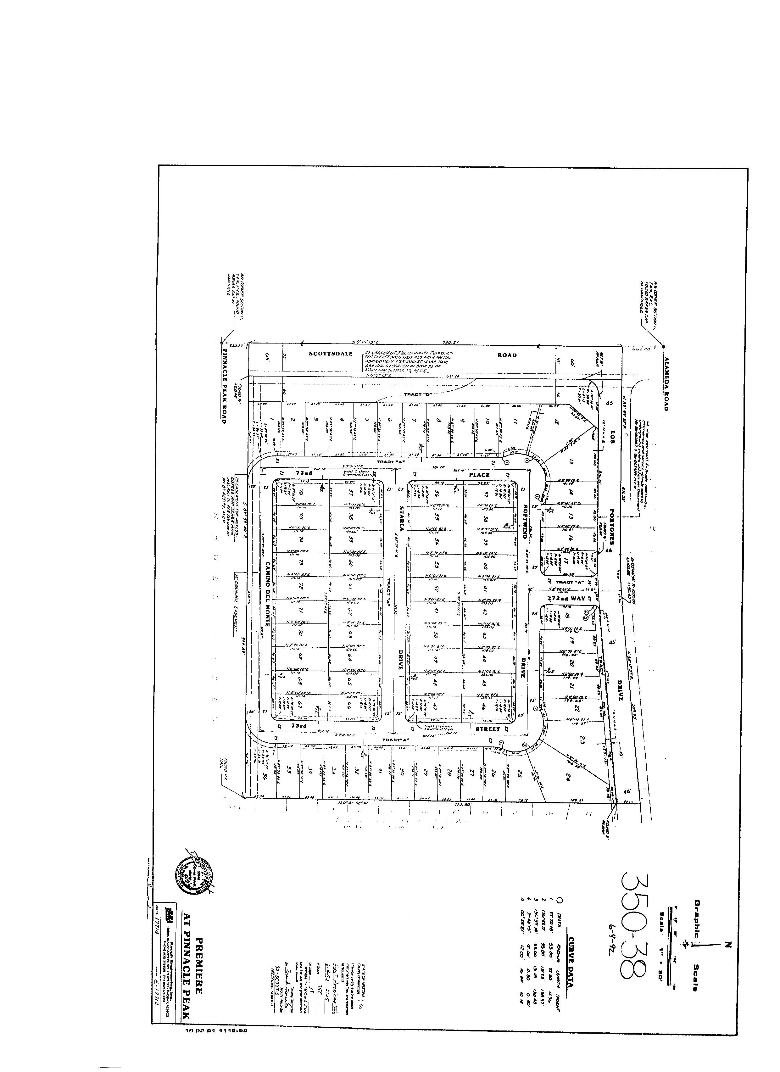
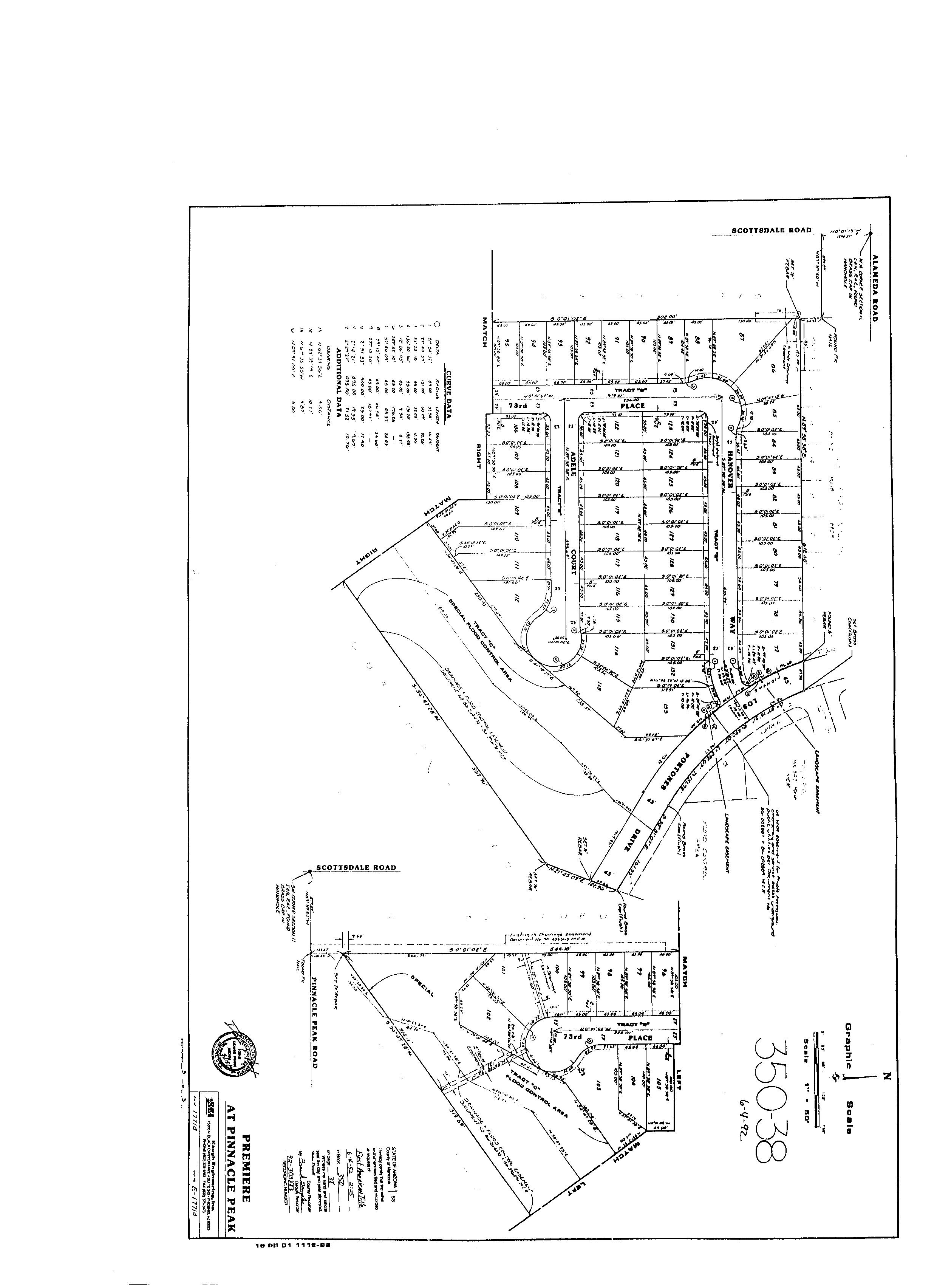
Legal Description : Lot 33 Premiere At Pinnacle Peak Mcr 350
County : Maricopa, Az
Census Tract / Block : 2168.40 / 1
Township-Range- Sect : 04N-04E-11
Legal Lot : 33
APN : 212-05-333
Last Market Sale Information
Recording/Sale Date : 06/17/2022 / 06/02/2022
Sale Price : $690,000
Subdivision : Premiere At Pinnacle Peak Lt 1-133 Tr A-e
Map Reference : 35038
School District : Paradise Valley 69
Munic/Township : Scottsdale
Neighbor Code : 07-003
1st Mtg Amount/Type : $647,200 / Cnv
1st Mtg Document # : 509353
Document # : 509352 1st Mtg Term : 30
Deed Type : Warranty Deed
Title Company : Lawyers Title
Lender : Equitable Hm Mtg
Seller Name : Bell James R
Prior Sale Information
Prior Rec/Sale Date : 07/22/2015 / 07/16/2015
Prior Sale Price : $328,000
Prior Doc Number : 525545
Price Per SqFt : $417.68
Prior Deed Type : Warranty Deed
Prior Lender : Vip Mtg
Prior 1st Mtg Amt/Type : $338,824 / Va
Customer Name : Chantel Cortez
Customer Company Name : FIRST AMERICAN TITLE Prepared On : 08/29/2025

Property Characteristics
Gross Area : 1,652
Living Area : 1,652
Total Rooms : 7
Year Built / Eff : 1993
# of Stories : 1
Parking Type : Garage
Property Information Land Use : Sfr
R1-5
Tax Information
Roof Material : Concrete Tile Air Cond : Refrigeration
Heat Type : Forced Air
Average
Cooling Type : Forced Air Condition : Average
Exterior wall : Frame Wood Bath Fixtures : 8
Patio Type : Covered Patio
Size : 340







Customer Name :
Customer Company Name : FIRST
Prepared On : 08/29/2025

Census Tract / block: 2168.40 / 1 Year: 2020















































































