Property Detail Report
61321 E Cardinal Ln, Oracle, AZ 85623-2042
APN: 305-15-8790
Pinal County Data as of: 09/03/2024
Owner Name: Sevilla Evelyn / Sevilla Pedro S Vesting: Community Property
Mailing Address: 61321 E Cardinal Ln, Oracle, AZ 85623-2042
Owner Information Location Information
Legal Description:
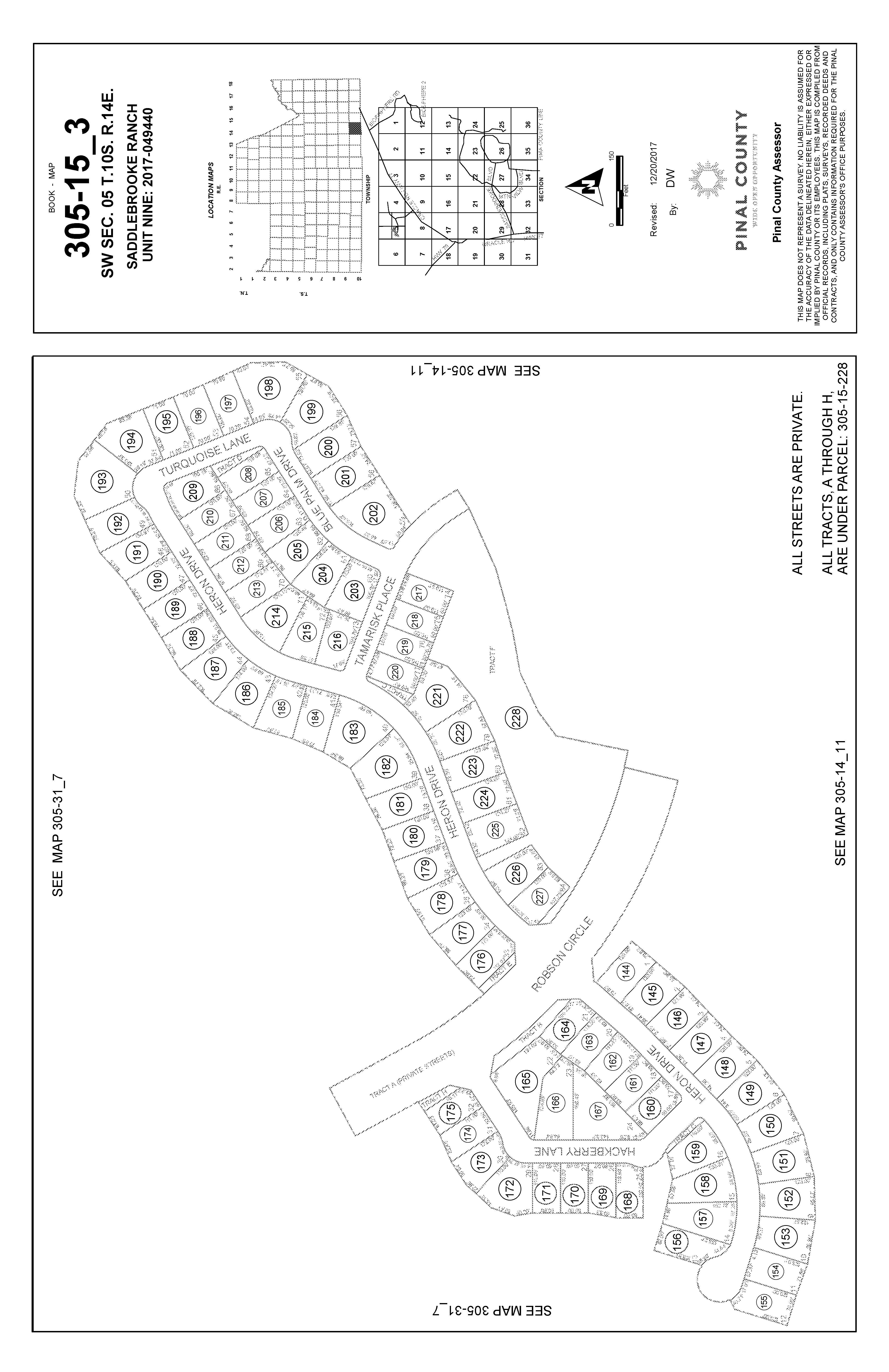
Lot 71 Of Saddlebrooke Ranch Unit Eighteen C, According To The Pl At Of Record In The Office Of The Pinal County Recorder, Arizona, Recorded In Fee No 2021-147356, Located In Section 04, Township 10 South, Range 14 East, 8,524 Square Feet, 0 20 Acres
Occupancy: Owner Occupied
County: Pinal, AZ APN: 305-15-8790
Alternate APN: 3051587909
Census Tract / Block: 002200 / 4009 Munic / Twnshp: Twnshp-Rng-Sec: 10S-14E-04
Legal Book / Page:
Legal Lot / Block: 71 / Subdivision: Saddlebrooke Ranch Unit Eighteen C Tract #:
Neighborhood:
School District: Amphitheater Unified District Elementary School: Mountain Vista Sch Middle School: Mountain Vista Sch High School: Canyon Del Oro Hig Latitude: 32 59655 Longitude: -110 91174
Last Transfer / Conveyance - Current Owner
Transfer / Rec Date: 08/31/2023 / 08/31/2023 Price: $794,979
Buyer Name: Sevilla Evelyn / Sevilla Pedro S
Seller Name: Robson Ranch Mountains LLC
Transfer Doc #: 2023 64919
Deed Type: Special Warranty Deed
Last Market Sale
Sale / Rec Date: 08/31/2023 / 08/31/2023
Sale Price / Type: $794,979 /
Deed Type: Special Warranty Deed Multi / Split Sale: Price / Sq Ft : $267
New Construction: N
1st Mtg Amt / Type: $635,983 / Conventional 1st Mtg Rate / Type: 6 78 / Estimated 1st Mtg Doc #: 2023 64920 2nd Mtg Amt / Type:
Seller Name: Robson Ranch Mountains LLC
2nd Mtg Rate / Type: Sale Doc #: 2023 64919
Lender: Nova Financial & Inv Corp Title Company: Old Republic Title
Sale / Rec Date:
1st Mtg Amt / Type:
Prior Sale Information Property Characteristics
Sale Price / Type:
1st Mtg Rate / Type:
Prior Deed Type:
Prior Sale Doc #: N/A Prior Lender:
Gross Living Area: 3,683 Sq Ft
Living Area: 2,974 Sq Ft
Total Adj Area:
Above Grade: 2,974 Sq Ft
Basement Area:
Total Rooms: 0
Bedrooms:
Baths (F / H):
Pool:
Fireplace:
Year Built / Eff: 2022
Stories: 1
Parking Type: Attached
Garage #:
Garage Area: 709 Sq Ft
Style: Cooling: Central Porch Type:
Foundation:
Quality: Average
Heating: Warm Air Patio Type:
Exterior Wall: Plaster Roof Type:
Condition: Construction Type: Wood/Steel Roof Material: Concrete Tile
Site Information
Land Use: SFR Lot Area: 8,524 Sq Ft
Zoning:
State Use: Lot Width / Depth: # of Buildings: 1
County Use: 0143 - Sfr-010-4 Rural Subdiv
Site Influence:
Flood Zone Code:
Community Name:
Tax Information
Assessed Year: 2025
Tax Year: 2023
Usable Lot:
Acres: 0.196
Flood Map #:
Res / Comm Units:
Water / Sewer Type:
Flood Map Date:
Flood Panel #: Inside SFHA: Unknown
Assessed Value: $66,352 Market Total Value: $663,515
Land Value: Market Land Value: $85,240
Sales Comparables
61321 E Cardinal Ln, Oracle, AZ 85623-2042
APN: 305-15-8790
Subject Property
61321 E Cardinal Ln, Oracle, AZ 85623-2042
Sale Price / Type:
$794,979 / Sale / Rec Date: / 08/31/2023
Year Built / Eff: 2022 / Lot Area: 8,524 Sq Ft
Pinal County Data as of: 09/03/2024
Bedrooms: Assessed Value: $663,515
Living Area: 2,974 Sq Ft Baths (F / H): Land Use: SFR Pool: Total Rooms:
Owner Name: Sevilla Evelyn / Sevilla Pedro S
Mailing Address: 61321 E Cardinal Ln, Oracle, AZ 85623-2042
County: Pinal
APN: 305-15-8790
Subdivision: Saddlebrooke Ranch Unit Eighteen C
Zoning:
Acres: 0 20
Cooling: Central
Stories: 1
Roof Material: Concrete Tile
Sale Price: Census Tct / Blk: 000802 / 4009 Fireplace:
1st Mtg / Type: $635,983 / Conventional Parking Type:
Rec Date: Res / Comm Units: Flood Zone Code: Prior Sale Doc #:
Search Criteria
# Months Back: 6 Distance From Subject: 0 5 mi Living Area Difference: 15 0 + / - Land Use:
4 Comparable Properties Found
Comp #1 - 0.20 Miles From Subject 30965 S Blue Granite Ln, Oracle, AZ 85623-7561
Sale Price / Type: $975,000 / Sale / Rec Date: 06/06/2022 / 08/26/2024
Year Built / Eff: 2021 / Lot
Assessed Value: $635,471
(F / H): Land Use: SFR
Owner Name: Nelson Patricia L / Nelson Mark D
Mailing Address: 30965 S Blue Granite Ln, Oracle, AZ 85623-7561
County: Pinal
APN: 305-15-4060
Subdivision: Saddlebrooke Ranch Unit Seventeen
Census Tct / Blk: 000802 / 2132
1st Mtg / Type:
Stories: 1
Sale Date: 06/06/2022
Rec Date: 09/13/2022 Res / Comm Units:
Comp #2 - 0.25 Miles From Subject 61590 E Travertine St, Oracle, AZ 85623-1696
Sale Price / Type: $806,684 / Sale / Rec Date: / 03/08/2024
Year Built / Eff: 2022 / Lot
Assessed Value: $636,777
Land Use: SFR
Owner Name: Skomra Raymond W
Mailing Address: 61590 E Travertine St, Oracle, AZ 85623-1696
County: Pinal Zoning:
APN: 305-15-7110
Subdivision: Saddlebrooke Ranch Unit Eighteen B
Census Tct / Blk: 000802 / 4009
1st Mtg / Type:
Res / Comm Units:
9,351 Sq
Sale Doc #: 2022 97976
1
Central
Comp #3 - 0.41 Miles From Subject 30782 S Jeans Way, Oracle, AZ 85623-1607
Sale Price / Type: $485,000 / Sale / Rec Date: / 03/07/2024 Year Built / Eff: 2022 /
SFR
Owner Name: Palese Karin L
Mailing Address: 30782 S Jeans Way, Oracle, AZ 85623-1607
County: Pinal
APN: 305-15-6560
Subdivision: Saddlebrooke Ranch Unit Eighteen A
Price: $787,701 Census Tct / Blk: 000802 / 2132
1st Mtg / Type: $144,351 / Private Party
Rec Date: 12/22/2022 Res / Comm Units:
Sale Doc #: 2022 124678
Comp #4 - 0.50 Miles From Subject
30623 S Chestnut Way, Oracle, AZ 85623-1620
Sale Price / Type: $870,000 / Sale / Rec Date: 04/28/2021 / 05/10/2024
Year Built / Eff: 2021 /
Lot Area: 8,472 Sq Ft
Bedrooms: Assessed Value: $658,187
Living Area: 2,920 Sq Ft
Baths (F / H): Land Use: SFR
Owner Name: Tapper John O / Tapper Diane M
Mailing Address: 30623 S Chestnut Way, Oracle, AZ 85623-1620
County: Pinal
APN: 305-15-6810
Subdivision: Saddlebrooke Ranch Unit Eighteen A
Pool:
Zoning:
Acres: 0 19
Cooling: Central
Total Rooms:
Stories: 1
Roof Material: Concrete Tile
Prior Sale Price: $765,308 Census Tct / Blk: 000802 / 2132
1st Mtg / Type: $652,500 / Conventional
Fireplace:
Parking Type:
Prior Sale Date: 04/28/2021
Prior Rec Date: 05/10/2022 Res / Comm Units:
Flood Zone Code:
Prior Sale Doc #: 2022 55920
Subject Property
61321 E Cardinal Ln, Oracle, AZ 85623-2042
Occupancy: Owner Occupied
Owner Name: Sevilla Evelyn / Sevilla Pedro S
Mailing Address: 61321 E Cardinal Ln, Oracle, AZ 85623-2042
APN: 305-15-8790
Neighbor 1 - 0.01 Miles From Subject 61285 E Cardinal Ln, Oracle, AZ 85623-2039
Occupancy: Absentee Owner
Owner Name: Bruton Steven L / Bruton Patricia K
Mailing Address: 61525 E Cardinal Way, Oracle, AZ 85623
APN: 305-15-8800
(F / H):
Neighbor 2 - 0.01 Miles From Subject 61337 E Cardinal Ln, Oracle, AZ 85623-2042
Occupancy: Absentee Owner
Owner Name: Monte G Living Trust / Tamara Budahl Living Trust Sale / Rec Date: / 06/12/2024
Built / Eff:
Mailing Address: 3341 Merganser Ave, Anchorage, AK 99516-2708 Sale Price / Type: $1,079,330 / Bedrooms: APN: 305-15-8780
Land Use: Vacant -Residential Land Baths (F / H):
Neighbor 3 - 0 03 Miles From Subject 61263 E Cardinal Ln, Oracle, AZ 85623-2039
Occupancy: Owner Occupied
Owner Name: Westover Steven E / Westover Christina M
Mailing Address: 61263 E Cardinal Ln, Oracle, AZ 85623-2039 Sale Price / Type: $846,779 / Bedrooms: APN: 305-15-8810
Land Use: Miscellaneous Baths (F / H):
Neighbor 4 - 0.03 Miles From Subject 61345 E Cardinal Ln, Oracle, AZ 85623-2042
Occupancy: Owner Occupied
Owner Name: Newell Gary E / Newell Katherine D
Mailing Address: 61345 E Cardinal Ln, Oracle, AZ 85623-2042
APN: 305-15-8770
Neighbor 5 - 0.03 Miles From Subject 61314 E Cardinal Ln, Oracle, AZ 85623-2041
Occupancy: Owner Occupied
Owner Name: Patrick J Bowman Trust / Bowman Patrick J
Mailing Address: 61314 E Cardinal Ln, Oracle, AZ 85623-2041
APN: 305-15-8630
Neighbor 6 - 0 03 Miles From Subject 61292 E Cardinal Ln, Oracle, AZ 85623-2038
Occupancy: Absentee Owner
Owner Name: Reising Alan L / Barraza Anna L
Mailing Address: 4314 Pepperwood Ave, Long Beach, CA 90808-1346
APN: 305-15-8620
Neighbor 7 - 0.04 Miles From Subject 61340 E Cardinal Ln, Oracle, AZ 85623-2041
Occupancy: Owner Occupied
Owner Name: Brooks Leslie E
Mailing Address: 61340 E Cardinal Ln, Oracle, AZ 85623-2041
APN: 305-15-8640
/ Rec Date: / 09/26/2023
Use: SFR
(F / H):
/ Rec Date: / 08/24/2023
(F / H):
(F / H):
Neighbor 8 - 0.04 Miles From Subject 61274 E Cardinal Ln, Oracle, AZ 85623-2038
Occupancy: Owner Occupied
Owner Name: Wallace Mark S / Wallace Tyra Sale / Rec Date: / 08/04/2023
Mailing Address: 61274 E Cardinal Ln, Oracle, AZ 85623-2038 Sale Price / Type: $661,049 /
APN: 305-15-8610
Neighbor 9 - 0 04 Miles From Subject Occupancy: Unknown
Land Use: SFR
Owner Name: Robson Ranch Mountains LLC Sale / Rec Date:
Mailing Address: 9532 E Riggs Rd, Sun Lakes, AZ 85248-7463 Sale Price / Type:
APN: 305-15-8880
Neighbor 10 - 0 04 Miles From Subject 61369 E Cardinal Ln, Oracle, AZ 85623-2042
Occupancy: Owner Occupied
Land Use: PUD
Owner Name: Crump Irving J / Crump Karen Lynn Sale / Rec Date: / 10/25/2023
Mailing Address: 61369 E Cardinal Ln, Oracle, AZ 85623-2042
Price / Type: $667,642 /
APN: 305-15-8760 Land Use: Miscellaneous
Neighbor 11 - 0 04 Miles From Subject 61229 E Cardinal Ln, Oracle, AZ 85623-2039
Occupancy: Owner Occupied
Owner Name: Zamostny Thomas J / Fan Yong
Mailing Address: 61229 E Cardinal Ln, Oracle, AZ 85623-2039
APN: 305-15-8820
Neighbor 12 - 0.05 Miles From Subject 61368 E Cardinal Ln, Oracle, AZ 85623-2041
Occupancy: Owner Occupied
Owner Name: McStrack Wayne A / McStrack Patricia
Mailing Address: 61368 E Cardinal Ln, Oracle, AZ 85623-2041
APN: 305-15-8650
Neighbor 13 - 0 05 Miles From Subject 61364 E Shale Rd, Oracle, AZ 85623-1459
Occupancy: Owner Occupied
Owner Name: Morrill Robert W / Morrill Susan A
Mailing Address: 61364 E Shale Rd, Oracle, AZ 85623-1459
APN: 305-15-0980
/ Rec Date: / 07/21/2023
Price / Type: $809,369 /
(F / H):
/ 07/21/2021
(F / H):
(F / H):
Neighbor 14 - 0.05 Miles From Subject 61260 E Cardinal Ln, Oracle, AZ 85623-2038
Occupancy: Owner Occupied
Owner Name: Bruce A And Debra A Hutton Tru / Hutton Bruce A Sale / Rec Date: / 06/21/2023
Mailing Address: 61260 E Cardinal Ln, Oracle, AZ 85623-2038
Price / Type: $677,097 / Bedrooms: APN: 305-15-8600
Neighbor 15 - 0 05 Miles From Subject 61346 E Shale Rd, Oracle, AZ 85623-1459
Occupancy: Absentee Owner
Owner Name: Lee Ann Mattix Trust / Mattix Lee Ann
Mailing Address: 11107 W 132nd Ct, Overland Park, KS 66213-1156
Price / Type: $376,797 / Bedrooms: APN: 305-15-0990
Use: SFR Baths (F / H):
Neighbor 16 - 0.05 Miles From Subject 61372 E Shale Rd, Oracle, AZ 85623-1459
Occupancy: Absentee Owner
Owner Name: Fick Barry W / Fick Gail A
Mailing Address: 10546 202nd St, Lakeville, MN 55044-9301
APN: 305-15-0970
Neighbor 17 - 0.05 Miles From Subject 61332 E Shale Rd, Oracle, AZ 85623-1459
Occupancy: Owner Occupied
Owner Name: McGiboney Wayne A / McGiboney Debra A
Mailing Address: 61332 E Shale Rd, Oracle, AZ 85623-1459
APN: 305-15-1000
Neighbor 18 - 0 05 Miles From Subject 61384 E Shale Rd, Oracle, AZ 85623-1459
Occupancy:
Owner Name: Easterby Rodney Keith / Easterby Diann Rochell
Mailing Address: 61384 E Shale Rd, Oracle, AZ 85623-1459
APN: 305-15-0960
Neighbor 19 - 0.05 Miles From Subject 61400 E Shale Rd, Oracle, AZ 85623-1488
Occupancy: Owner Occupied
Owner Name: Wojciechowski Martin P
Mailing Address: 61400 E Shale Rd, Oracle, AZ 85623-1488
APN: 305-15-3570
/
/ 05/10/2023
(F / H):
Neighbor 20 - 0.05 Miles From Subject 61318 E Shale Rd, Oracle, AZ 85623-1459
Occupancy: Owner Occupied
Owner Name: Kaliski Thomas W / Kaliski Barbara A
Mailing Address: 61318 E Shale Rd, Oracle, AZ 85623-1459
Sale / Rec Date: 01/13/2020 / 09/10/2020 Lot Area: 4,090 Sq Ft
Sale Price / Type: $338,013 / Bedrooms: APN: 305-15-1010
Land Use: SFR Baths (F / H):

Disclaimer:This report is not an insured product or service or a representation of the condition of title to real property. It is not an abstract, legal opinion,opinionoftitle,titleinsurance,commitmentorpreliminaryreport,oranyformoftitleinsuranceorguaranty.Estimatedpropertyvaluesare: (i) based on available data; (ii) are not guaranteed or warranted; (iii) do not constitute an appraisal; and (iv) should not be relied upon in lieu of an appraisal.This report is issued exclusively for the benefit of the applicant therefor, and may not be used or relied upon by any other person. This report may not be reproduced in any manner without the issuing party's prior written consent. The issuing party does not represent or warrant that the information herein is complete or free from error, and the information herein is provided without any warranties of any kind, as-is, and with all faults. As a material part of the consideration given in exchange for the issuance of this report, recipient agrees that the issuing party's sole liability for any loss or damage caused by an error or omission due to inaccurate information or negligence in preparing this report shall be limited to the fee charged for the report. Recipient accepts this report with this limitation and agrees that the issuing party would not have issued this report but forthelimitationofliability described above. Theissuingpartymakesnorepresentation orwarrantyastothelegality orpropriety ofrecipient's use oftheinformationherein.
SchoolinformationiscopyrightedandprovidedbyGreatSchools.org.