19744 N Ben Ct

Page 1

©2021 First American Financial Corporation and/or its affiliates. All rights reserved. NYSE: FAF 05252610821 COVENANTS, CONDITIONS & RESTRICTIONS PREPARED FOR : First American Title Insurance Company, and the operating divisions thereof, make no express or implied warranty respecting the information presented and assume no responsibility for errors or omissions. First American, the eagle logo, First American Title, and firstam.com are registered trademarks or trademarks of First American Financial Corporation and/or its affiliates. 19744 N. Ben Court Maricopa, AZ 85138

LIMITATION OF LIABILITY FOR INFORMATIONAL REPORTS

IMPORTANT -- PLEASE READ CAREFULLY:

This report is not an insured product or service or a representation of the condition of title to real property. It is not an abst ract, legal opinion, opinion of title, title insurance commitment or preliminary report, or any form of Title Insurance or Guaranty. This report is issued exclusively for the benefit of the Applicant therefor and may not be used or relied upon by any other person. This report may not be reproduced in any manner without First American or Title Security's prior written consent. First American or Title Security does not represent or warrant that the information herein is complete or free from error, and the information herein is provided without any warranties of any kind, as-is, and with all faults. As a material part of the consideration given in exchange for the issuance of this report, recipient agrees that First American or Title Security's sole liability for any loss or damage caused by an error or omission due to inaccurate information or negligence in preparing this report shall be limited to the fee charged for the report. Recipient accepts this report with this limitation and agrees that First American or Title Security would not have issued this report but for the limitation of liability described above. First American or Title Security makes no representation or warranty as to the legality or propriety of recipient's use of the information herein.

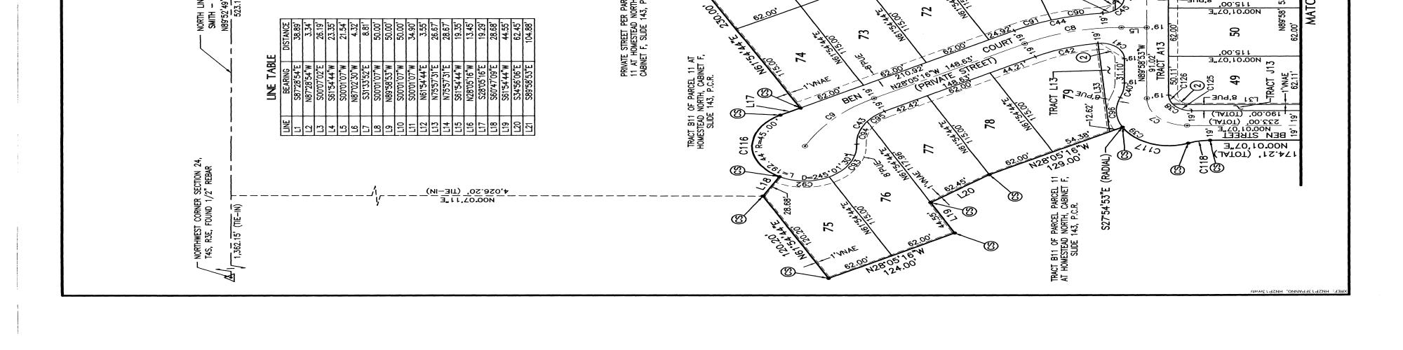
Branch:FC0,User:LMRAComment:StationId:RL13 PINAL(PL),AZPage1of3Printedon8/1/20232:46:26PM Document:PLAT_MAPG.123
Branch:FC0,User:LMRAComment:StationId:RL13 PINAL(PL),AZPage2of3Printedon8/1/20232:46:28PM
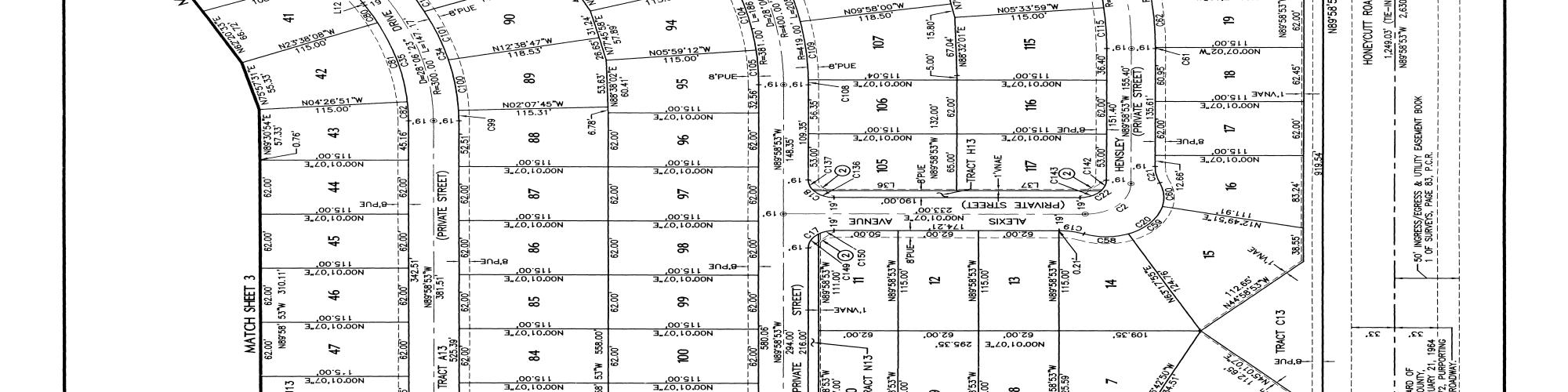
Document:PLAT_MAPG.123
Branch:FC0,User:LMRAComment:StationId:RL13 PINAL(PL),AZPage3of3Printedon8/1/20232:46:30PM
Document:PLAT_MAPG.123
Branch:FC0,User:LMRAComment:StationId:RL13 PINAL(PL),AZPage1of2Printedon8/1/20232:46:30PM Document:RESMOD2006.160076
Branch:FC0,User:LMRAComment:StationId:RL13 PINAL(PL),AZPage2of2Printedon8/1/20232:46:30PM Document:RESMOD2006.160076
Branch:FC0,User:LMRAComment:StationId:RL13 PINAL(PL),AZPage1of4Printedon8/1/20232:46:30PM Document:RESMOD2007.8236
Branch:FC0,User:LMRAComment:StationId:RL13 PINAL(PL),AZPage2of4Printedon8/1/20232:46:31PM Document:RESMOD2007.8236
Branch:FC0,User:LMRAComment:StationId:RL13 PINAL(PL),AZPage3of4Printedon8/1/20232:46:31PM Document:RESMOD2007.8236
Branch:FC0,User:LMRAComment:StationId:RL13 PINAL(PL),AZPage4of4Printedon8/1/20232:46:31PM Document:RESMOD2007.8236
Branch:FC0,User:LMRAComment:StationId:RL13 PINAL(PL),AZPage1of5Printedon8/1/20232:46:31PM Document:RESANX2017.6373
Branch:FC0,User:LMRAComment:StationId:RL13 PINAL(PL),AZPage2of5Printedon8/1/20232:46:31PM Document:RESANX2017.6373
Branch:FC0,User:LMRAComment:StationId:RL13 PINAL(PL),AZPage3of5Printedon8/1/20232:46:32PM Document:RESANX2017.6373
Branch:FC0,User:LMRAComment:StationId:RL13 PINAL(PL),AZPage4of5Printedon8/1/20232:46:32PM Document:RESANX2017.6373
Branch:FC0,User:LMRAComment:StationId:RL13 PINAL(PL),AZPage5of5Printedon8/1/20232:46:32PM Document:RESANX2017.6373
Branch:FC0,User:LMRAComment:StationId:RL13 PINAL(PL),AZPage1of8Printedon8/1/20232:46:32PM Document:RESANX2018.51546
Branch:FC0,User:LMRAComment:StationId:RL13 PINAL(PL),AZPage2of8Printedon8/1/20232:46:32PM Document:RESANX2018.51546
Branch:FC0,User:LMRAComment:StationId:RL13 PINAL(PL),AZPage3of8Printedon8/1/20232:46:32PM Document:RESANX2018.51546
Branch:FC0,User:LMRAComment:StationId:RL13 PINAL(PL),AZPage4of8Printedon8/1/20232:46:32PM Document:RESANX2018.51546
Branch:FC0,User:LMRAComment:StationId:RL13 PINAL(PL),AZPage5of8Printedon8/1/20232:46:32PM Document:RESANX2018.51546
Branch:FC0,User:LMRAComment:StationId:RL13 PINAL(PL),AZPage6of8Printedon8/1/20232:46:33PM Document:RESANX2018.51546
Branch:FC0,User:LMRAComment:StationId:RL13 PINAL(PL),AZPage7of8Printedon8/1/20232:46:33PM Document:RESANX2018.51546
Branch:FC0,User:LMRAComment:StationId:RL13 PINAL(PL),AZPage8of8Printedon8/1/20232:46:33PM Document:RESANX2018.51546
Branch:FC0,User:LMRAComment:StationId:RL13 PINAL(PL),AZPage1of3Printedon8/1/20232:46:33PM Document:RESANX2008.55553
Branch:FC0,User:LMRAComment:StationId:RL13 PINAL(PL),AZPage2of3Printedon8/1/20232:46:33PM Document:RESANX2008.55553
Branch:FC0,User:LMRAComment:StationId:RL13 PINAL(PL),AZPage3of3Printedon8/1/20232:46:33PM Document:RESANX2008.55553
Branch:FC0,User:LMRAComment:StationId:RL13 PINAL(PL),AZPage1of6Printedon8/1/20232:46:34PM Document:RESAMD2008.56790
Branch:FC0,User:LMRAComment:StationId:RL13 PINAL(PL),AZPage2of6Printedon8/1/20232:46:34PM Document:RESAMD2008.56790
Branch:FC0,User:LMRAComment:StationId:RL13 PINAL(PL),AZPage3of6Printedon8/1/20232:46:34PM Document:RESAMD2008.56790
Branch:FC0,User:LMRAComment:StationId:RL13 PINAL(PL),AZPage4of6Printedon8/1/20232:46:34PM Document:RESAMD2008.56790
Branch:FC0,User:LMRAComment:StationId:RL13 PINAL(PL),AZPage5of6Printedon8/1/20232:46:34PM Document:RESAMD2008.56790
Branch:FC0,User:LMRAComment:StationId:RL13 PINAL(PL),AZPage6of6Printedon8/1/20232:46:34PM Document:RESAMD2008.56790
Branch:FC0,User:LMRAComment:StationId:RL13 PINAL(PL),AZPage1of4Printedon8/1/20232:46:35PM Document:RESASN2008.97229
Branch:FC0,User:LMRAComment:StationId:RL13 PINAL(PL),AZPage2of4Printedon8/1/20232:46:35PM Document:RESASN2008.97229
Branch:FC0,User:LMRAComment:StationId:RL13 PINAL(PL),AZPage3of4Printedon8/1/20232:46:35PM Document:RESASN2008.97229
Branch:FC0,User:LMRAComment:StationId:RL13 PINAL(PL),AZPage4of4Printedon8/1/20232:46:35PM Document:RESASN2008.97229
Branch:FC0,User:LMRAComment:StationId:RL13 PINAL(PL),AZPage1of4Printedon8/1/20232:46:35PM Document:RESANX2015.18250
Branch:FC0,User:LMRAComment:StationId:RL13 PINAL(PL),AZPage2of4Printedon8/1/20232:46:36PM Document:RESANX2015.18250
Branch:FC0,User:LMRAComment:StationId:RL13 PINAL(PL),AZPage3of4Printedon8/1/20232:46:36PM Document:RESANX2015.18250
Branch:FC0,User:LMRAComment:StationId:RL13 PINAL(PL),AZPage4of4Printedon8/1/20232:46:36PM Document:RESANX2015.18250
Branch:FC0,User:LMRAComment:StationId:RL13 PINAL(PL),AZPage1of4Printedon8/1/20232:46:36PM Document:RESANX2015.18254
Branch:FC0,User:LMRAComment:StationId:RL13 PINAL(PL),AZPage2of4Printedon8/1/20232:46:36PM Document:RESANX2015.18254
Branch:FC0,User:LMRAComment:StationId:RL13 PINAL(PL),AZPage3of4Printedon8/1/20232:46:37PM Document:RESANX2015.18254
Branch:FC0,User:LMRAComment:StationId:RL13 PINAL(PL),AZPage4of4Printedon8/1/20232:46:37PM Document:RESANX2015.18254
Branch:FC0,User:LMRAComment:StationId:RL13 PINAL(PL),AZPage1of52Printedon8/1/20232:46:37PM Document:RES2015.18255
Branch:FC0,User:LMRAComment:StationId:RL13 PINAL(PL),AZPage2of52Printedon8/1/20232:46:37PM Document:RES2015.18255
Branch:FC0,User:LMRAComment:StationId:RL13 PINAL(PL),AZPage3of52Printedon8/1/20232:46:37PM Document:RES2015.18255
Branch:FC0,User:LMRAComment:StationId:RL13 PINAL(PL),AZPage4of52Printedon8/1/20232:46:38PM Document:RES2015.18255
Branch:FC0,User:LMRAComment:StationId:RL13 PINAL(PL),AZPage5of52Printedon8/1/20232:46:38PM Document:RES2015.18255
Branch:FC0,User:LMRAComment:StationId:RL13 PINAL(PL),AZPage6of52Printedon8/1/20232:46:38PM Document:RES2015.18255
Branch:FC0,User:LMRAComment:StationId:RL13 PINAL(PL),AZPage7of52Printedon8/1/20232:46:38PM Document:RES2015.18255
Branch:FC0,User:LMRAComment:StationId:RL13 PINAL(PL),AZPage8of52Printedon8/1/20232:46:38PM Document:RES2015.18255
Branch:FC0,User:LMRAComment:StationId:RL13 PINAL(PL),AZPage9of52Printedon8/1/20232:46:39PM Document:RES2015.18255
Branch:FC0,User:LMRAComment:StationId:RL13 PINAL(PL),AZPage10of52Printedon8/1/20232:46:39PM Document:RES2015.18255
Branch:FC0,User:LMRAComment:StationId:RL13 PINAL(PL),AZPage11of52Printedon8/1/20232:46:39PM Document:RES2015.18255
Branch:FC0,User:LMRAComment:StationId:RL13 PINAL(PL),AZPage12of52Printedon8/1/20232:46:39PM Document:RES2015.18255
Branch:FC0,User:LMRAComment:StationId:RL13 PINAL(PL),AZPage13of52Printedon8/1/20232:46:40PM Document:RES2015.18255
Branch:FC0,User:LMRAComment:StationId:RL13 PINAL(PL),AZPage14of52Printedon8/1/20232:46:40PM Document:RES2015.18255
Branch:FC0,User:LMRAComment:StationId:RL13 PINAL(PL),AZPage15of52Printedon8/1/20232:46:40PM Document:RES2015.18255
Branch:FC0,User:LMRAComment:StationId:RL13 PINAL(PL),AZPage16of52Printedon8/1/20232:46:40PM Document:RES2015.18255
Branch:FC0,User:LMRAComment:StationId:RL13 PINAL(PL),AZPage17of52Printedon8/1/20232:46:41PM Document:RES2015.18255
Branch:FC0,User:LMRAComment:StationId:RL13 PINAL(PL),AZPage18of52Printedon8/1/20232:46:41PM Document:RES2015.18255
Branch:FC0,User:LMRAComment:StationId:RL13 PINAL(PL),AZPage19of52Printedon8/1/20232:46:41PM Document:RES2015.18255
Branch:FC0,User:LMRAComment:StationId:RL13 PINAL(PL),AZPage20of52Printedon8/1/20232:46:41PM Document:RES2015.18255
Branch:FC0,User:LMRAComment:StationId:RL13 PINAL(PL),AZPage21of52Printedon8/1/20232:46:42PM Document:RES2015.18255
Branch:FC0,User:LMRAComment:StationId:RL13 PINAL(PL),AZPage22of52Printedon8/1/20232:46:42PM Document:RES2015.18255
Branch:FC0,User:LMRAComment:StationId:RL13 PINAL(PL),AZPage23of52Printedon8/1/20232:46:42PM Document:RES2015.18255
Branch:FC0,User:LMRAComment:StationId:RL13 PINAL(PL),AZPage24of52Printedon8/1/20232:46:42PM Document:RES2015.18255
Branch:FC0,User:LMRAComment:StationId:RL13 PINAL(PL),AZPage25of52Printedon8/1/20232:46:43PM Document:RES2015.18255
Branch:FC0,User:LMRAComment:StationId:RL13 PINAL(PL),AZPage26of52Printedon8/1/20232:46:43PM Document:RES2015.18255
Branch:FC0,User:LMRAComment:StationId:RL13 PINAL(PL),AZPage27of52Printedon8/1/20232:46:43PM Document:RES2015.18255
Branch:FC0,User:LMRAComment:StationId:RL13 PINAL(PL),AZPage28of52Printedon8/1/20232:46:43PM Document:RES2015.18255
Branch:FC0,User:LMRAComment:StationId:RL13 PINAL(PL),AZPage29of52Printedon8/1/20232:46:44PM Document:RES2015.18255
Branch:FC0,User:LMRAComment:StationId:RL13 PINAL(PL),AZPage30of52Printedon8/1/20232:46:44PM Document:RES2015.18255
Branch:FC0,User:LMRAComment:StationId:RL13 PINAL(PL),AZPage31of52Printedon8/1/20232:46:44PM Document:RES2015.18255
Branch:FC0,User:LMRAComment:StationId:RL13 PINAL(PL),AZPage32of52Printedon8/1/20232:46:45PM Document:RES2015.18255
Branch:FC0,User:LMRAComment:StationId:RL13 PINAL(PL),AZPage33of52Printedon8/1/20232:46:45PM Document:RES2015.18255
Branch:FC0,User:LMRAComment:StationId:RL13 PINAL(PL),AZPage34of52Printedon8/1/20232:46:45PM Document:RES2015.18255
Branch:FC0,User:LMRAComment:StationId:RL13 PINAL(PL),AZPage35of52Printedon8/1/20232:46:45PM Document:RES2015.18255
Branch:FC0,User:LMRAComment:StationId:RL13 PINAL(PL),AZPage36of52Printedon8/1/20232:46:46PM Document:RES2015.18255
Branch:FC0,User:LMRAComment:StationId:RL13 PINAL(PL),AZPage37of52Printedon8/1/20232:46:46PM Document:RES2015.18255
Branch:FC0,User:LMRAComment:StationId:RL13 PINAL(PL),AZPage38of52Printedon8/1/20232:46:46PM Document:RES2015.18255
Branch:FC0,User:LMRAComment:StationId:RL13 PINAL(PL),AZPage39of52Printedon8/1/20232:46:47PM Document:RES2015.18255
Branch:FC0,User:LMRAComment:StationId:RL13 PINAL(PL),AZPage40of52Printedon8/1/20232:46:47PM Document:RES2015.18255
Branch:FC0,User:LMRAComment:StationId:RL13 PINAL(PL),AZPage41of52Printedon8/1/20232:46:47PM Document:RES2015.18255
Branch:FC0,User:LMRAComment:StationId:RL13 PINAL(PL),AZPage42of52Printedon8/1/20232:46:47PM Document:RES2015.18255
Branch:FC0,User:LMRAComment:StationId:RL13 PINAL(PL),AZPage43of52Printedon8/1/20232:46:48PM Document:RES2015.18255
Branch:FC0,User:LMRAComment:StationId:RL13 PINAL(PL),AZPage44of52Printedon8/1/20232:46:48PM Document:RES2015.18255
Branch:FC0,User:LMRAComment:StationId:RL13 PINAL(PL),AZPage45of52Printedon8/1/20232:46:48PM Document:RES2015.18255
Branch:FC0,User:LMRAComment:StationId:RL13 PINAL(PL),AZPage46of52Printedon8/1/20232:46:48PM Document:RES2015.18255
Branch:FC0,User:LMRAComment:StationId:RL13 PINAL(PL),AZPage47of52Printedon8/1/20232:46:49PM Document:RES2015.18255
Branch:FC0,User:LMRAComment:StationId:RL13 PINAL(PL),AZPage48of52Printedon8/1/20232:46:49PM Document:RES2015.18255
Branch:FC0,User:LMRAComment:StationId:RL13 PINAL(PL),AZPage49of52Printedon8/1/20232:46:49PM Document:RES2015.18255
Branch:FC0,User:LMRAComment:StationId:RL13 PINAL(PL),AZPage50of52Printedon8/1/20232:46:50PM Document:RES2015.18255
Branch:FC0,User:LMRAComment:StationId:RL13 PINAL(PL),AZPage51of52Printedon8/1/20232:46:50PM Document:RES2015.18255
Branch:FC0,User:LMRAComment:StationId:RL13 PINAL(PL),AZPage52of52Printedon8/1/20232:46:50PM Document:RES2015.18255
Branch:FC0,User:LMRAComment:StationId:RL13 PINAL(PL),AZPage1of54Printedon8/1/20232:46:50PM Document:RES2015.32458
Branch:FC0,User:LMRAComment:StationId:RL13 PINAL(PL),AZPage2of54Printedon8/1/20232:46:51PM Document:RES2015.32458
Branch:FC0,User:LMRAComment:StationId:RL13 PINAL(PL),AZPage3of54Printedon8/1/20232:46:51PM Document:RES2015.32458
Branch:FC0,User:LMRAComment:StationId:RL13 PINAL(PL),AZPage4of54Printedon8/1/20232:46:51PM Document:RES2015.32458
Branch:FC0,User:LMRAComment:StationId:RL13 PINAL(PL),AZPage5of54Printedon8/1/20232:46:51PM Document:RES2015.32458
Branch:FC0,User:LMRAComment:StationId:RL13 PINAL(PL),AZPage6of54Printedon8/1/20232:46:51PM Document:RES2015.32458
Branch:FC0,User:LMRAComment:StationId:RL13 PINAL(PL),AZPage7of54Printedon8/1/20232:46:52PM Document:RES2015.32458
Branch:FC0,User:LMRAComment:StationId:RL13 PINAL(PL),AZPage8of54Printedon8/1/20232:46:52PM Document:RES2015.32458
Branch:FC0,User:LMRAComment:StationId:RL13 PINAL(PL),AZPage9of54Printedon8/1/20232:46:52PM Document:RES2015.32458
Branch:FC0,User:LMRAComment:StationId:RL13 PINAL(PL),AZPage10of54Printedon8/1/20232:46:52PM Document:RES2015.32458
Branch:FC0,User:LMRAComment:StationId:RL13 PINAL(PL),AZPage11of54Printedon8/1/20232:46:52PM Document:RES2015.32458
Branch:FC0,User:LMRAComment:StationId:RL13 PINAL(PL),AZPage12of54Printedon8/1/20232:46:53PM Document:RES2015.32458
Branch:FC0,User:LMRAComment:StationId:RL13 PINAL(PL),AZPage13of54Printedon8/1/20232:46:53PM Document:RES2015.32458
Branch:FC0,User:LMRAComment:StationId:RL13 PINAL(PL),AZPage14of54Printedon8/1/20232:46:53PM Document:RES2015.32458
Branch:FC0,User:LMRAComment:StationId:RL13 PINAL(PL),AZPage15of54Printedon8/1/20232:46:53PM Document:RES2015.32458
Branch:FC0,User:LMRAComment:StationId:RL13 PINAL(PL),AZPage16of54Printedon8/1/20232:46:53PM Document:RES2015.32458
Branch:FC0,User:LMRAComment:StationId:RL13 PINAL(PL),AZPage17of54Printedon8/1/20232:46:53PM Document:RES2015.32458
Branch:FC0,User:LMRAComment:StationId:RL13 PINAL(PL),AZPage18of54Printedon8/1/20232:46:54PM Document:RES2015.32458
Branch:FC0,User:LMRAComment:StationId:RL13 PINAL(PL),AZPage19of54Printedon8/1/20232:46:54PM Document:RES2015.32458
Branch:FC0,User:LMRAComment:StationId:RL13 PINAL(PL),AZPage20of54Printedon8/1/20232:46:54PM Document:RES2015.32458
Branch:FC0,User:LMRAComment:StationId:RL13 PINAL(PL),AZPage21of54Printedon8/1/20232:46:54PM Document:RES2015.32458
Branch:FC0,User:LMRAComment:StationId:RL13 PINAL(PL),AZPage22of54Printedon8/1/20232:46:54PM Document:RES2015.32458
Branch:FC0,User:LMRAComment:StationId:RL13 PINAL(PL),AZPage23of54Printedon8/1/20232:46:55PM Document:RES2015.32458
Branch:FC0,User:LMRAComment:StationId:RL13 PINAL(PL),AZPage24of54Printedon8/1/20232:46:55PM Document:RES2015.32458
Branch:FC0,User:LMRAComment:StationId:RL13 PINAL(PL),AZPage25of54Printedon8/1/20232:46:55PM Document:RES2015.32458
Branch:FC0,User:LMRAComment:StationId:RL13 PINAL(PL),AZPage26of54Printedon8/1/20232:46:55PM Document:RES2015.32458
Branch:FC0,User:LMRAComment:StationId:RL13 PINAL(PL),AZPage27of54Printedon8/1/20232:46:55PM Document:RES2015.32458
Branch:FC0,User:LMRAComment:StationId:RL13 PINAL(PL),AZPage28of54Printedon8/1/20232:46:55PM Document:RES2015.32458
Branch:FC0,User:LMRAComment:StationId:RL13 PINAL(PL),AZPage29of54Printedon8/1/20232:46:56PM Document:RES2015.32458
Branch:FC0,User:LMRAComment:StationId:RL13 PINAL(PL),AZPage30of54Printedon8/1/20232:46:56PM Document:RES2015.32458
Branch:FC0,User:LMRAComment:StationId:RL13 PINAL(PL),AZPage31of54Printedon8/1/20232:46:56PM Document:RES2015.32458
Branch:FC0,User:LMRAComment:StationId:RL13 PINAL(PL),AZPage32of54Printedon8/1/20232:46:56PM Document:RES2015.32458
Branch:FC0,User:LMRAComment:StationId:RL13 PINAL(PL),AZPage33of54Printedon8/1/20232:46:56PM Document:RES2015.32458
Branch:FC0,User:LMRAComment:StationId:RL13 PINAL(PL),AZPage34of54Printedon8/1/20232:46:56PM Document:RES2015.32458
Branch:FC0,User:LMRAComment:StationId:RL13 PINAL(PL),AZPage35of54Printedon8/1/20232:46:57PM Document:RES2015.32458
Branch:FC0,User:LMRAComment:StationId:RL13 PINAL(PL),AZPage36of54Printedon8/1/20232:46:57PM Document:RES2015.32458
Branch:FC0,User:LMRAComment:StationId:RL13 PINAL(PL),AZPage37of54Printedon8/1/20232:46:57PM Document:RES2015.32458
Branch:FC0,User:LMRAComment:StationId:RL13 PINAL(PL),AZPage38of54Printedon8/1/20232:46:57PM Document:RES2015.32458
Branch:FC0,User:LMRAComment:StationId:RL13 PINAL(PL),AZPage39of54Printedon8/1/20232:46:57PM Document:RES2015.32458
Branch:FC0,User:LMRAComment:StationId:RL13 PINAL(PL),AZPage40of54Printedon8/1/20232:46:58PM Document:RES2015.32458
Branch:FC0,User:LMRAComment:StationId:RL13 PINAL(PL),AZPage41of54Printedon8/1/20232:46:58PM Document:RES2015.32458
Branch:FC0,User:LMRAComment:StationId:RL13 PINAL(PL),AZPage42of54Printedon8/1/20232:46:58PM Document:RES2015.32458
Branch:FC0,User:LMRAComment:StationId:RL13 PINAL(PL),AZPage43of54Printedon8/1/20232:46:58PM Document:RES2015.32458
Branch:FC0,User:LMRAComment:StationId:RL13 PINAL(PL),AZPage44of54Printedon8/1/20232:46:58PM Document:RES2015.32458
Branch:FC0,User:LMRAComment:StationId:RL13 PINAL(PL),AZPage45of54Printedon8/1/20232:46:58PM Document:RES2015.32458
Branch:FC0,User:LMRAComment:StationId:RL13 PINAL(PL),AZPage46of54Printedon8/1/20232:46:59PM Document:RES2015.32458
Branch:FC0,User:LMRAComment:StationId:RL13 PINAL(PL),AZPage47of54Printedon8/1/20232:46:59PM Document:RES2015.32458
Branch:FC0,User:LMRAComment:StationId:RL13 PINAL(PL),AZPage48of54Printedon8/1/20232:46:59PM Document:RES2015.32458
Branch:FC0,User:LMRAComment:StationId:RL13 PINAL(PL),AZPage49of54Printedon8/1/20232:46:59PM Document:RES2015.32458
Branch:FC0,User:LMRAComment:StationId:RL13 PINAL(PL),AZPage50of54Printedon8/1/20232:46:59PM Document:RES2015.32458
Branch:FC0,User:LMRAComment:StationId:RL13 PINAL(PL),AZPage51of54Printedon8/1/20232:47:00PM Document:RES2015.32458
Branch:FC0,User:LMRAComment:StationId:RL13 PINAL(PL),AZPage52of54Printedon8/1/20232:47:00PM Document:RES2015.32458
Branch:FC0,User:LMRAComment:StationId:RL13 PINAL(PL),AZPage53of54Printedon8/1/20232:47:00PM Document:RES2015.32458
Branch:FC0,User:LMRAComment:StationId:RL13 PINAL(PL),AZPage54of54Printedon8/1/20232:47:00PM Document:RES2015.32458
Branch:FC0,User:LMRAComment:StationId:RL13 PINAL(PL),AZPage1of47Printedon8/1/20232:45:05PM Document:RES2005.160783
Branch:FC0,User:LMRAComment:StationId:RL13 PINAL(PL),AZPage2of47Printedon8/1/20232:45:05PM Document:RES2005.160783
Branch:FC0,User:LMRAComment:StationId:RL13 PINAL(PL),AZPage3of47Printedon8/1/20232:45:05PM Document:RES2005.160783
Branch:FC0,User:LMRAComment:StationId:RL13 PINAL(PL),AZPage4of47Printedon8/1/20232:45:05PM Document:RES2005.160783
Branch:FC0,User:LMRAComment:StationId:RL13 PINAL(PL),AZPage5of47Printedon8/1/20232:45:05PM Document:RES2005.160783
Branch:FC0,User:LMRAComment:StationId:RL13 PINAL(PL),AZPage6of47Printedon8/1/20232:45:06PM Document:RES2005.160783
Branch:FC0,User:LMRAComment:StationId:RL13 PINAL(PL),AZPage7of47Printedon8/1/20232:45:06PM Document:RES2005.160783
Branch:FC0,User:LMRAComment:StationId:RL13 PINAL(PL),AZPage8of47Printedon8/1/20232:45:06PM Document:RES2005.160783
Branch:FC0,User:LMRAComment:StationId:RL13 PINAL(PL),AZPage9of47Printedon8/1/20232:45:06PM Document:RES2005.160783
Branch:FC0,User:LMRAComment:StationId:RL13 PINAL(PL),AZPage10of47Printedon8/1/20232:45:06PM Document:RES2005.160783
Branch:FC0,User:LMRAComment:StationId:RL13 PINAL(PL),AZPage11of47Printedon8/1/20232:45:07PM Document:RES2005.160783
Branch:FC0,User:LMRAComment:StationId:RL13 PINAL(PL),AZPage12of47Printedon8/1/20232:45:07PM Document:RES2005.160783
Branch:FC0,User:LMRAComment:StationId:RL13 PINAL(PL),AZPage13of47Printedon8/1/20232:45:07PM Document:RES2005.160783
Branch:FC0,User:LMRAComment:StationId:RL13 PINAL(PL),AZPage14of47Printedon8/1/20232:45:07PM Document:RES2005.160783
Branch:FC0,User:LMRAComment:StationId:RL13 PINAL(PL),AZPage15of47Printedon8/1/20232:45:07PM Document:RES2005.160783
Branch:FC0,User:LMRAComment:StationId:RL13 PINAL(PL),AZPage16of47Printedon8/1/20232:45:08PM Document:RES2005.160783
Branch:FC0,User:LMRAComment:StationId:RL13 PINAL(PL),AZPage17of47Printedon8/1/20232:45:08PM Document:RES2005.160783
Branch:FC0,User:LMRAComment:StationId:RL13 PINAL(PL),AZPage18of47Printedon8/1/20232:45:08PM Document:RES2005.160783
Branch:FC0,User:LMRAComment:StationId:RL13 PINAL(PL),AZPage19of47Printedon8/1/20232:45:08PM Document:RES2005.160783
Branch:FC0,User:LMRAComment:StationId:RL13 PINAL(PL),AZPage20of47Printedon8/1/20232:45:08PM Document:RES2005.160783
Branch:FC0,User:LMRAComment:StationId:RL13 PINAL(PL),AZPage21of47Printedon8/1/20232:45:09PM Document:RES2005.160783
Branch:FC0,User:LMRAComment:StationId:RL13 PINAL(PL),AZPage22of47Printedon8/1/20232:45:09PM Document:RES2005.160783
Branch:FC0,User:LMRAComment:StationId:RL13 PINAL(PL),AZPage23of47Printedon8/1/20232:45:09PM Document:RES2005.160783
Branch:FC0,User:LMRAComment:StationId:RL13 PINAL(PL),AZPage24of47Printedon8/1/20232:45:09PM Document:RES2005.160783
Branch:FC0,User:LMRAComment:StationId:RL13 PINAL(PL),AZPage25of47Printedon8/1/20232:45:09PM Document:RES2005.160783
Branch:FC0,User:LMRAComment:StationId:RL13 PINAL(PL),AZPage26of47Printedon8/1/20232:45:10PM Document:RES2005.160783
Branch:FC0,User:LMRAComment:StationId:RL13 PINAL(PL),AZPage27of47Printedon8/1/20232:45:10PM Document:RES2005.160783
Branch:FC0,User:LMRAComment:StationId:RL13 PINAL(PL),AZPage28of47Printedon8/1/20232:45:10PM Document:RES2005.160783
Branch:FC0,User:LMRAComment:StationId:RL13 PINAL(PL),AZPage29of47Printedon8/1/20232:45:10PM Document:RES2005.160783
Branch:FC0,User:LMRAComment:StationId:RL13 PINAL(PL),AZPage30of47Printedon8/1/20232:45:10PM Document:RES2005.160783
Branch:FC0,User:LMRAComment:StationId:RL13 PINAL(PL),AZPage31of47Printedon8/1/20232:45:11PM Document:RES2005.160783
Branch:FC0,User:LMRAComment:StationId:RL13 PINAL(PL),AZPage32of47Printedon8/1/20232:45:11PM Document:RES2005.160783
Branch:FC0,User:LMRAComment:StationId:RL13 PINAL(PL),AZPage33of47Printedon8/1/20232:45:11PM Document:RES2005.160783
Branch:FC0,User:LMRAComment:StationId:RL13 PINAL(PL),AZPage34of47Printedon8/1/20232:45:11PM Document:RES2005.160783
Branch:FC0,User:LMRAComment:StationId:RL13 PINAL(PL),AZPage35of47Printedon8/1/20232:45:11PM Document:RES2005.160783
Branch:FC0,User:LMRAComment:StationId:RL13 PINAL(PL),AZPage36of47Printedon8/1/20232:45:12PM Document:RES2005.160783
Branch:FC0,User:LMRAComment:StationId:RL13 PINAL(PL),AZPage37of47Printedon8/1/20232:45:12PM Document:RES2005.160783
Branch:FC0,User:LMRAComment:StationId:RL13 PINAL(PL),AZPage38of47Printedon8/1/20232:45:12PM Document:RES2005.160783
Branch:FC0,User:LMRAComment:StationId:RL13 PINAL(PL),AZPage39of47Printedon8/1/20232:45:12PM Document:RES2005.160783
Branch:FC0,User:LMRAComment:StationId:RL13 PINAL(PL),AZPage40of47Printedon8/1/20232:45:12PM Document:RES2005.160783
Branch:FC0,User:LMRAComment:StationId:RL13 PINAL(PL),AZPage41of47Printedon8/1/20232:45:13PM Document:RES2005.160783
Branch:FC0,User:LMRAComment:StationId:RL13 PINAL(PL),AZPage42of47Printedon8/1/20232:45:13PM Document:RES2005.160783
Branch:FC0,User:LMRAComment:StationId:RL13 PINAL(PL),AZPage43of47Printedon8/1/20232:45:13PM Document:RES2005.160783
Branch:FC0,User:LMRAComment:StationId:RL13 PINAL(PL),AZPage44of47Printedon8/1/20232:45:13PM Document:RES2005.160783
Branch:FC0,User:LMRAComment:StationId:RL13 PINAL(PL),AZPage45of47Printedon8/1/20232:45:13PM Document:RES2005.160783
Branch:FC0,User:LMRAComment:StationId:RL13 PINAL(PL),AZPage46of47Printedon8/1/20232:45:13PM Document:RES2005.160783
Branch:FC0,User:LMRAComment:StationId:RL13 PINAL(PL),AZPage47of47Printedon8/1/20232:45:14PM Document:RES2005.160783

Turn static files into dynamic content formats.

Create a flipbook
Issuu converts static files into: digital portfolios, online yearbooks, online catalogs, digital photo albums and more. Sign up and create your flipbook.