17420 W Picacho

Page 1

Subject

Data Provided By:

First American Title Ins Co

Property 17420 W Picacho Rd Marana AZ 85653 APN: 208-11-2250
© 2023 CoreLogic. All rights reserved

LIMITATION OF LIABILITY FOR INFORMATIONAL REPORTS

IMPORTANT -- PLEASE READ CAREFULLY:

This report is not an insured product or service or a representation of the condition of title to real property. It is not an abst ract, legal opinion, opinion of title, title insurance commitment or preliminary report, or any form of Title Insurance or Guaranty. This report is issued exclusively for the benefit of the Applicant therefor and may not be used or relied upon by any other person. This report may not be reproduced in any manner without First American or Title Security's prior written consent. First American or Title Security does not represent or warrant that the information herein is complete or free from error, and the information herein is provided without any warranties of any kind, as-is, and with all faults. As a material part of the consideration given in exchange for the issuance of this report, recipient agrees that First American or Title Security's sole liability for any loss or damage caused by an error or omission due to inaccurate information or negligence in preparing this report shall be limited to the fee charged for the report. Recipient accepts this report with this limitation and agrees that First American or Title Security would not have issued this report but for the limitation of liability described above. First American or Title Security makes no representation or warranty as to the legality or propriety of recipient's use of the information herein.

Disclaimer

This REiSource report is provided "as is" without warranty of any kind, either express or implied, including without limitations any warrantees of merchantability or fitness for a particular purpose. There is no representation of warranty that this information is complete or free from error, and the provider does not assume, and expressly disclaims, any liability to any person or entity for loss or damage caused by errors or omissions in this REiSource report without a title insurance policy.

The information contained in the REiSource report is delivered from your Title Company, who reminds you that you have the right as a consumer to compare fees and serviced levels for Title, Escrow, and all other services associated with property ownership, and to select providers accordingly. Your home is the largest investment you will make in your lifetime and you should demand the very best.

Data Provided By: First American Title Ins Co
© 2023 CoreLogic. All rights reserved

Subject Property :   17420 W Picacho Rd Marana AZ 85653

Owner Information

Owner Name : Bowers Jack Rowe Jr / Bowers Hilary Elaine

Mailing Address : 17420 W Picacho Rd, Marana AZ 85653-9548 H003

Vesting Codes : / / Joint Tenants

Owner Occupied Indicator : O

Location Information

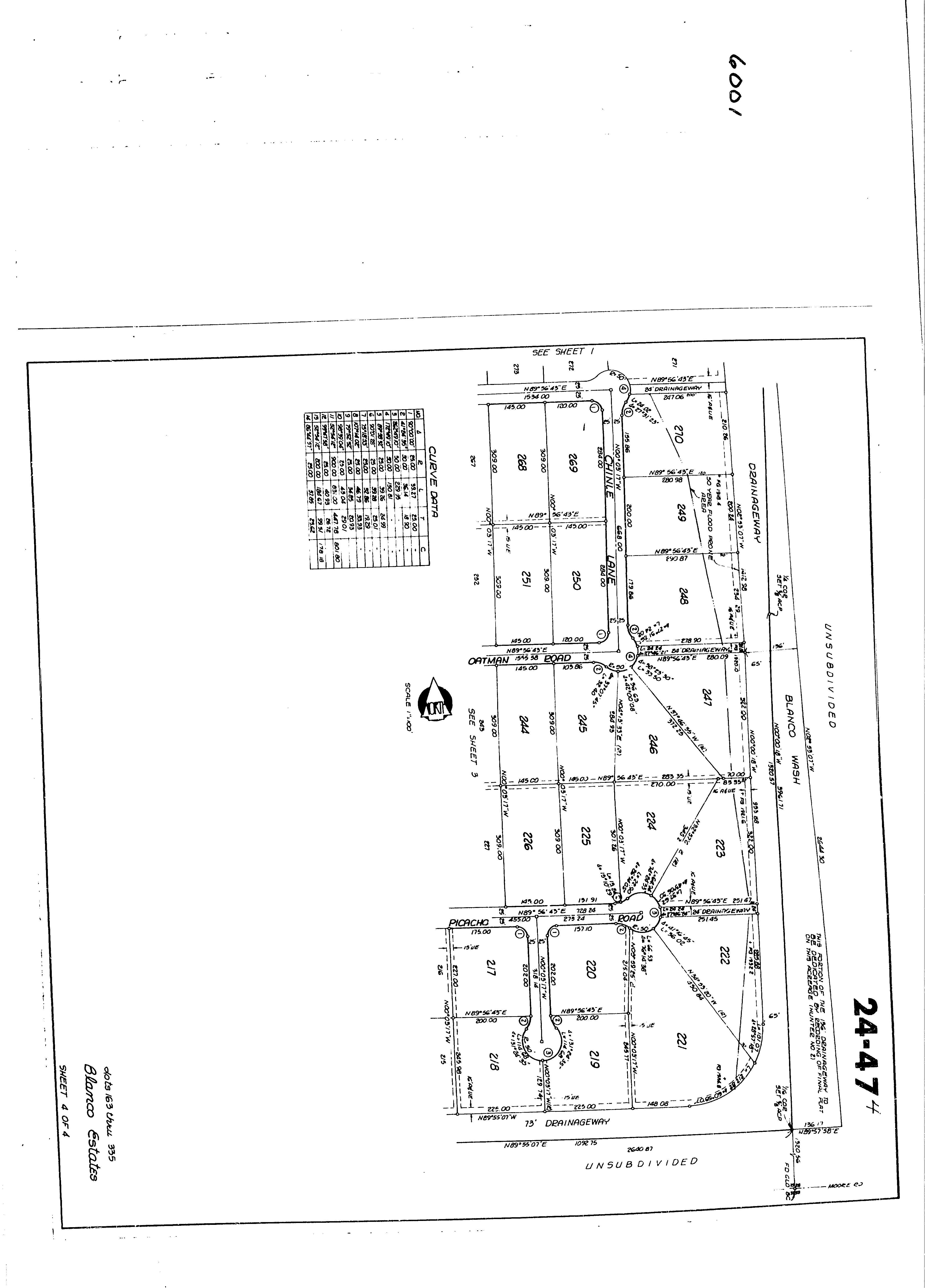
Legal Description : Blanco Estates Lot 224 (formerly 201-72-2250)

County : Pima, Az

Census Tract / Block : 44.19 / 2

Township-Range- Sect : 11S-10E-29

Legal Book/Page : 24-47

Legal Lot : 224

Market Area : 412

Last Market Sale Information

Recording/Sale Date : 02/02/1987 / 02/00/1987

Sale Price : $3,825

Document # : 7964-1457

Seller Name : Stewart Title & Trust Of Tucsn

Property Characteristics

Year Built / Eff : 1975 / 1975

# of Stories : 1

Foundation : Concrete

Property Information

Land Use : Mobile Home

APN : 208-11-2250

Subdivision : Blanco Estates

Map Reference : 29-11S-10E

School District : Marana

Munic/Township : Marana

Deed Type : Joint Tenancy Deed

1st Mtg Amount/Type : $3,600 / Cnv

Roof Material : Built-up

Construction : Steel/wood

Exterior wall : Sheathing/ stucco

Floor Cover : Carpet

Zoning : SH

County Use : Mh Subdivided Lot Lot Acres : 1.11

Lot Size : 48,358

State Use : Mh Subdivided Lot

Customer Name : Kariann Keomaka Customer Company Name : First American Title Insurance Company Prepared On : 08/15/2023 © 2023 CoreLogic. All rights reserved
Tax Information Total Value : $30,060 Property Tax : $433.40 Current Year Total Value : $4,170 Total Taxable Value : $3,006 Tax Rate Area : 0601 Current Year Improvement Value : $1,570 Assessed Year : 2022 Market Value : $30,060 Current Year Land Value : $2,600 Tax Year : 2022 Current Assessed Year : 2024
Name : Kariann Keomaka Customer Company Name : First American Title Insurance Company Prepared On : 08/15/2023 © 2023 CoreLogic. All rights reserved
Customer
Analysis Criteria Subject Property Low High Average Sale Price $3,825 $45,000 $245,000 $141,278 Bldg/Living Area Price Per Square Foot Year Built 1975 1972 2000 1986 Lot Size 48,358 42,308 210,395 64,834 Bedrooms Bathrooms Stories 1 1 1 1 Total Assessed Value $30,060 $13,000 $64,597 $36,742 Distance From Subject 0 0.14 0.95 0.58 Summary of Comparables # Address Sale Price Total Assessed Value Sale Date Bed Bath Living Area Lot Size Year Built Dist (Miles) Zoning S 17420 W Picacho Rd 3,825 30,060 02/02/1987 48,358 1975 SH 1 17525 W Picacho Rd 245,000 31,765 04/20/2023 45,820 1975 0.14 SH 2 17432 W Bacabi Rd 245,000 52,249 06/20/2023 44,297 1996 0.38 SH 3 17633 W White Eagle Rd 105,000 64,597 08/15/2022 210,395 2000 0.4 RH 4 17661 W Bacabi Rd 72,500 13,000 06/20/2023 42,308 0.42 SH 5 17560 W Babocomari Rd 179,000 22,230 11/16/2022 53,783 1973 0.53 SH 6 17702 W Marana Rd 45,000 38,139 04/14/2023 45,893 1997 0.73 SH 7 16841 W Gatling Rd 177,000 13,000 05/03/2023 44,877 0.75 SH 8 12666 N Single Six Rd 103,000 53,662 10/14/2022 45,654 1972 0.9 SH 9 12465 N Derringer Rd 100,000 42,040 02/08/2023 50,478 1988 0.95 SH Distressed Sales = Customer Name : Kariann Keomaka Customer Company Name : First American Title Insurance Company Prepared On : 08/15/2023 © 2023 CoreLogic. All rights reserved
Sales

Customer Name : Kariann Keomaka

Customer Company Name : First American Title Insurance Company Prepared On : 08/15/2023

© 2023 CoreLogic. All rights reserved

Map

Details of Comparables

Subject Property: 17420 W Picacho Rd Marana Az 85653

Owner Name: Bowers Jack Rowe Jr /Bowers Hilary Elaine

#1   17525 W Picacho Rd Marana Az 85653

Owner Name: Pisciotta Paul /Bibeau Tracy

#2   17432 W Bacabi Rd Marana Az 85653

Owner Name: Castle Costella B /

APN
Land Use: Mobile Home Subdivision / Tract: Blanco Estates
Lot Size: 48,358 Year Built / Eff: 1975 /1975 Rec. Date / Price: 02/02/1987 / $3,825 Living Area: # of units: Document #: 7964-1457 Bedrooms: Pool: Total Tax Value: $30,060 Bath(F/H): /
/ Alternate APN: 208-11-2250 / Deed Type: Joint Tenancy Deed
/
APN
Warranty
Land Use: Mobile Home Subdivision / Tract: Blanco Estates / Lot Size: 45,820 Year Built / Eff: 1975 /1975 Rec. Date / Price: 04/20/2023 / $245,000 Living Area: # of units: Document #: 1100579 Bedrooms: Pool: Total Tax Value: $31,765 Bath(F/H): /
/ Alternate APN: 208-11-2170 / Deed Type:
Deed
APN /
Warranty
Land Use: Mobile Home Subdivision / Tract: Blanco Estates / Lot Size: 44,297 Year Built / Eff: 1996 /1996 Rec. Date / Price: 06/20/2023 / $245,000 Living Area: # of units: Document #: 1710279 Bedrooms: Pool: Total Tax Value: $52,249 Bath(F/H): / #3   17633 W White Eagle Rd Marana Az 85653 Owner Name: Gunderson Brook C /Gunderson Jesse J APN / Alternate APN: 208-10-027C / Deed Type: Special Warranty Deed Land Use: Mobile Home Subdivision / Tract: / Lot Size: 210,395 Year Built / Eff: 2000 /2000 Rec. Date / Price: 08/15/2022 / $105,000 Living Area: # of units: Document #: 2270583 Bedrooms: Pool: Total Tax Value: $64,597 Bath(F/H): /
Name:
APN / Alternate APN: 208-11-2830 / Deed Type: Warranty Deed Land Use: Mobile Home Subdivision / Tract: Blanco Estates / Lot Size: 42,308 Year Built / Eff: / Rec. Date / Price: 06/20/2023 / $72,500 Living Area: # of units: Document #: 1710469 Bedrooms: Pool: Total Tax Value: $13,000 Bath(F/H): / Customer Name : Kariann Keomaka Customer Company Name : First American Title Insurance Company Prepared On : 08/15/2023 © 2023 CoreLogic. All rights reserved
Alternate APN: 208-11-2950 / Deed Type:
Deed
#4   17661 W Bacabi Rd Marana Az 85653 Owner
Fuller Erik /Fuller Leanne

#5   17560 W Babocomari Rd Marana Az 85653

Owner Name: Egurrola Blanca /

#6   17702 W Marana Rd Marana Az 85653

Owner Name: Glazebrook Randy /Glazebrook Diana

#7   16841 W Gatling Rd Marana Az 85653

Owner Name: Simmons Kevin /

Hunt Kenneth B /Hunt Danielle L

APN
Deed Type: Warranty Deed Land Use: Mobile Home Subdivision /
Size: 53,783 Year Built / Eff: 1973 /1973 Rec. Date /
Living Area: # of units: Document #:
Bedrooms: Pool: Total Tax Value: $22,230 Bath(F/H): /
/ Alternate APN: 208-11-322A /
Tract: Blanco Estates / Lot
Price: 11/16/2022 / $179,000
3200157
APN / Alternate APN:
Deed Type: Warranty Deed Land Use: Mobile Home Subdivision / Tract: Blanco Estates / Lot Size: 45,893 Year Built / Eff: 1997 /1997 Rec. Date / Price: 04/14/2023
$45,000 Living Area: # of units: Document #: 1040896 Bedrooms: Pool: Total Tax Value: $38,139 Bath(F/H): /
208-11-0070 /
/
APN / Alternate APN:
Deed Type: Warranty Deed Land Use: Mobile Home Subdivision / Tract: Hunter 02 / Lot Size: 44,877 Year Built / Eff: / Rec. Date / Price: 05/03/2023 / $177,000 Living Area: # of units: Document #: 1230397 Bedrooms: Pool: Total Tax Value: $13,000 Bath(F/H): /
APN / Alternate APN: 208-19-0800
Deed Type: Warranty Deed Land Use: Mobile Home Subdivision / Tract: El Tirador Estates / Lot Size: 45,654 Year Built / Eff: 1972 /1972 Rec. Date / Price: 10/14/2022 / $103,000 Living Area: # of units: Document #: 2870120 Bedrooms: Pool: Total Tax Value: $53,662 Bath(F/H): / #9   12465 N Derringer Rd Marana Az 85653
APN
Land Use: Mobile Home Subdivision / Tract: El Tirador Estates
Lot Size: 50,478 Year Built / Eff: 1988 /1988 Rec. Date / Price: 02/08/2023 / $100,000 Living Area: # of units: Document #: 390266 Bedrooms: Pool: Total Tax Value: $42,040 Bath(F/H): / Customer
Kariann Keomaka Customer Company Name : First American Title Insurance Company Prepared On : 08/15/2023 © 2023 CoreLogic. All rights reserved
208-17-0970 /
#8   12666 N Single Six Rd Marana Az 85653 Owner Name:
/
Owner Name: Post Land Co Llc /
/ Alternate APN: 208-19-1260 / Deed Type: Warranty Deed
/
Name :

Customer Name : Kariann Keomaka

Customer Company Name : First American Title Insurance Company Prepared On : 08/15/2023

© 2023 CoreLogic. All rights reserved

Subject Property :   17420 W Picacho Rd Marana AZ 85653

Customer Name : Kariann Keomaka

Customer Company Name : First American Title Insurance Company Prepared On : 08/15/2023

© 2023 CoreLogic. All rights reserved

17400 W PICACHO RD Distance 0.03 Miles

Owner Name : Bowers Jack Subdivision : Blanco Estates

Total Value : $22,752

Recording Date : 12/31/1986

Land Use : Mobile Home Lot Property Tax : $550.53

Stories : 1 Lot Acres : 1.36

Yr Blt / Eff Yr Blt : 1980 / 1980

APN : 208-11-2240

17440 W PICACHO RD Distance 0.03 Miles

Owner Name : Bowers Jack Rowe Jr Property Tax : $314.56

Total Value : $13,000 Lot Acres : 1.12

Land Use : Residential Acreage APN : 208-11-2260

Subdivision  : Blanco Estates

17415 W OATMAN RD Distance 0.04 Miles

Owner Name : Acosta Enrique R Subdivision : Blanco Estates

Sale Date : 10/03/2018

Total Value : $55,974

Recording Date : 11/06/2018

Sale Price  : $90,000

Land Use : Manufactured Home Property Tax : $806.95

Stories : 1 Lot Acres : 1.14

Yr Blt / Eff Yr Blt : 1997 / 1997

APN : 208-11-2470

17460 W PICACHO RD Distance 0.06 Miles

Owner Name : Watt Willis Subdivision : Blanco Estates

Sale Date : 12/21/2016

Total Value : $22,752

Recording Date : 01/13/2017

Sale Price  : $12,900

Land Use : Mobile Home Property Tax : $366.99

Stories : 1

Yr Blt / Eff Yr Blt : 1977 / 1977

17435 W OATMAN RD

Owner Name : Joslin Mark

Sale Date : 06/15/2011

Total Value : $49,683

Lot Acres : 1.07

APN : 208-11-2270

Distance 0.06 Miles

Subdivision : Blanco Estates

Recording Date : 06/24/2011

Sale Price  : $30,000

Land Use : Mobile Home Property Tax : $716.18

Stories : 1

Yr Blt / Eff Yr Blt : 1991 / 1991

Lot Acres : 1.11

APN : 208-11-2460

Customer Name : Kariann Keomaka

Customer Company Name : First American Title Insurance Company

Prepared On : 08/15/2023

© 2023 CoreLogic. All rights reserved

13200 N CHINLE LN Distance 0.07 Miles

Owner Name : Howarth Howard

Recording Date : 10/07/1991

Sale Date : 09/00/1991 Sale Price  : $10,000

Total Value : $13,000 Property Tax : $314.56

Land Use : Residential Acreage Lot Acres : 1.40

Subdivision : Blanco Estates

APN : 208-11-2480

17401 W PICACHO RD Distance 0.08 Miles

Owner Name : Jones Judith S Subdivision : Blanco Estates

Sale Date : 04/02/2001

Recording Date : 08/31/2001

Total Value : $56,347 Property Tax : $784.73

Land Use : Manufactured Home Lot Acres : 1.34

Stories : 1 APN : 208-11-2230

Yr Blt / Eff Yr Blt  : 1993 / 1993

17441 W PICACHO RD Distance 0.08 Miles

Owner Name : Bussey Charles Fred Subdivision : Blanco Estates

Total Value : $23,827 Property Tax : $343.53

Land Use : Mobile Home Lot Acres : 1.09

Stories : 1 APN : 208-11-2210

Yr Blt / Eff Yr Blt  : 1977 / 1977

17455 W OATMAN RD Distance 0.08 Miles

Owner Name : Cole Benjamin Subdivision : Blanco Estates

Sale Date : 04/19/2021

Recording Date : 04/21/2021

Total Value : $58,944 Sale Price  : $159,900

Land Use : Mobile Home Property Tax : $950.75

Stories : 1 Lot Acres : 1.08

Yr Blt / Eff Yr Blt : 1996 / 1996 APN : 208-11-2450

Customer Name : Kariann Keomaka

Customer Company Name : First American Title Insurance Company Prepared On : 08/15/2023

© 2023 CoreLogic. All rights reserved

17502 W PICACHO RD

Distance 0.09 Miles

Owner Name : Partridge Thomas Subdivision : Blanco Estates

Sale Date : 01/00/1996

Total Value : $22,998

Recording Date : 01/30/1996

Sale Price  : $39,500

Land Use : Manufactured Home Property Tax : $331.58

Stories : 1 Lot Acres : 1.01

Yr Blt / Eff Yr Blt : 1971 / 1971

APN : 208-11-2280

Customer Name : Kariann Keomaka

Customer Company Name : First American Title Insurance Company Prepared On : 08/15/2023

© 2023 CoreLogic. All rights reserved

Census Tract / block: 44.19 / 2     Year: 2020 Household Population Population by Age Count: 6,196 0 - 11 Estimate Current Year: 5,919 12 - 17 Estimate in 5 Years: 4,929 18 - 24 9.43% Growth Last 5 Years: 6.67% 25 - 64 51.76% Growth Last 10 Years: -194.57% 65 - 74 10.62% 75+ Household Size Household Income Current Year: 2,302 0 - $25,000 23.41% Average Current Year: 2.69 $25,000 - $35,000 10.86% Estimate in 5 Years: 2,117 $35,000 - $50,000 17.64% Growth Last 5 Years: -4.39% $50,000 - $75,000 16.68% Growth Last 10 Years: -9.44% $75,000 - $100,000 13.99% Male Population: 49.97% Above $100,000 17.42% Female Population: 50.03% Average Household Income: $48,281 Married People: 48.05% Unmarried People: 51.95% Housing Median Mortgage Payments Home Values Under $300: 9.23% Below $100,000: 39.21% $300 - $799: 36.92% $100,000 - $150,000: 25.61% $800 - $1,999: 50.68% $150,000 - $200,000: 16.38% Over $2,000: 3.17% $200,000 - $300,000: 6.94% Median Home Value: $123,500 $300,000 - $500,000: 8.19% Unit Occupied Owner: 79.54% Above $500,000: 3.66% Median Mortgage: $626
Customer
On
08/15/2023 © 2023 CoreLogic. All rights reserved
Customer Name : Kariann Keomaka
Company Name : First American Title Insurance Company Prepared
:
Rent Payments Year Built Unit Occupied Renter: 20.46% 1999 - 2000 Median Gross Rent: $805 1995 - 1998 Less Than $499 35.41% 1990 - 1994 $500 - $749 13.88% 1980 - 1989 10.69% $750 - $999 24.4% 1970 - 1979 17.1% $1000 and Over 26.32% 1900 - 1969 2.81% Education Enrollment Public Pre-Primary School: 0% Not Enrolled in School: 77.55% Private Pre-Primary School: 0.4% Not A High School Graduate: 10.82% Public School: 18.77% Graduate Of High School: 33.92% Private School: 3.68% Attended Some College: 34.23% Public College: 4.36% College Graduate: 16.95% Private College: 1.5% Graduate Degree: 4.08% Workforce Occupation: Manager/Prof: 18.88% Private Worker: 73.01% Technical: Government Worker: 16.9% Sales: 37.68% Self Employed Worker: 3.07% Administrative: Unpaid Family Worker: 3.91% Private House Hold: Farming: 7.7% Service: 23.76% Skilled: Protective Services: Blue-Collar: 19.69% Commute Time Less Than 15 Min: 14.9% 15 min - 28 min: 25.62% 30 min - 57 min: 54.57% Over 60 min: 4.91% Customer Name : Kariann Keomaka Customer Company Name : First American Title Insurance Company Prepared On : 08/15/2023 © 2023 CoreLogic. All rights reserved

Customer Name : Kariann Keomaka

Customer Company Name : First American Title Insurance Company

Prepared On : 08/15/2023

© 2023 CoreLogic. All rights reserved

Customer Name : Kariann Keomaka

Customer Company Name : First American Title Insurance Company

Prepared On : 08/15/2023

© 2023 CoreLogic. All rights reserved

Customer Name : Kariann Keomaka

Customer Company Name : First American Title Insurance Company

Prepared On : 08/15/2023

© 2023 CoreLogic. All rights reserved

Arizona Schools For detailed information and statistics on Arizona schools please go to https://azreportcards.azed.gov/ First American Title Insurance Company, and the operating divisions thereof, make no express or implied warranty respecting the information presented and assume no responsibility for errors or omissions. First American, the eagle logo, First American Title, and firstam.com are registered trademarks or trademarks of First American Financial Corporation and/or its affiliates. ©2021 First American Financial Corporation and/or its affiliates. All rights reserved. NYSE: FAF 05117910421

PIMA COUNTY

School District Information

This map is provided for general location only. Please contact school districts for actual street boundaries

05249570321 TUCSON INT'L AIRPORT Air Force WSilverbellRd SSantaRitaRd N M t L emmon Hwy ESascoRd NF38 W Avra Valley Rd E Grand Va ey Dr NAguirre R d N L u c k e R d N W e n t z R d N Wa terman Mounta i n R d N Anway Rd W El Tiro Rd N Trico Rd W Tucker Rd W Rudas l Rd W Manvi e Rd SSanJoaquinRd WBopp Rd W Snyder H l Rd S M a r s e a r R d W Park Rd W Hermans Rd W Hermans Rd W Guy St W Bush Rd S G a v e y R d N C a e R i n c o n a d o S W m o R d S Shaw Rd S Sierrita Mountain Rd S K o b R d W TwinButtes Rd W Mcgee Ranch Rd S E s t a n c a D r EDesertDove E Hemlock Dr N Bea r C a n y o n R d W E Camino Del Cerro E Fairmount St S Swan Rd NFrontageRd W Emigh Rd W Fort Lowe Rd N P u m p S t a t ion dR E Nona Rd Ch efButteRd Lo al Ave N Trico Rd S Cattle Tank Rd Evalyn Rd SOwlHead R a n c h Rd GasLineRd S P ec a n R d N T r c o R d W Bayard Rd S S a n d a r o R d W i l l owSpri n gsRd N Dove Mountain Blvd SHelvetiaRd WAnamax Mine Rd W G a c i a R a n hc R d Road424 WRagged Top Rd W Ruby Star Dr WBritten RanchRd W Pima Mine Rd S Mcgee Ranch R d E Edw n Rd SGuildRd 8 0 NKINNEYRD S PICACHO HWY E BAUMGARTNER RD N S A N D A R I O R D N ANWAY RD W VALENCIA RD W MOORE RD W INA RD N 1 S T A V E E SUNRISE DR E SNYDER RD NSILVERBELLRD N S O L D I E R T R L E RIVER RD E PRINCE RD E SPEEDWAY BLVD S FREEMAN RD E 22ND ST E 22ND ST W IRVINGTON RD S N O G A L E S H W Y W VALENCIA RD SMISSIONRD W SPEEDWAY BLVD S O L D S P A N I S H T RL W NARANJA DR W TWIN PEAKS RD W PICTURE ROCKS RD W MANVILLE RD SKINNEYRD W MILE WIDE RD E SAHUARITA RD N TRICO RD S S A N D A R O R D PARK LINK DR S OLD N O G ALES HW Y S H O U G H T O N R D S L A C A N A D A DR W HELMET PEAK RD WAJOHWY N S W A N R D S KOLB RD S HOUGHTON RD W TANGERINE RD E GRANT RD S H O U G H T O N R D 9 5 WAJOHWY E VALENCIA RD NORACLE R D I10 I-19 77 77 77 86 86 286 10 19 10 10 Corona de Tucson Casas Adobes Catalina Green Valley Oracle Picture Rocks Three Points Vail Summit Tanque Verde Tucson Sahuarita Red Rock Saddlebrooke Marana Oro Valley Rillito Summerhaven Willow Canyon Oracle Junction Cortaro Continental Littletown 20 30 13 15 51 39 12 01 01 08 10 16 11 06
SCHOOL DISTRICTS 15 AJO UNIFIED 111 N. Well Road, Ajo, AZ 85321 520.387.5618 51 ALTAR VALLEY ELEMENTARY 10105 S. Sasabe Road, Tucson, AZ 85736 520.822.1484 10 AMPHITHEATER UNIFIED 701 W. Wetmore, Tucson, AZ 85705 520.696.5000 16 CATALINA FOOTHILS UNIFIED 2101 E. River Road, Tucson, AZ 85718 520.209.7500 39 CONTINENTAL ELEMENTARY 1991 E. Whitehouse Canyon, Green Valley, AZ 85614 520.625.4581 08 FLOWING WELLS UNIFIED 1556 W. Prince Road, Tucson, AZ 85705 520.696.8800 06 MARANA UNIFIED 11279 W. Grier Road, Marana, AZ 85653 520.682.3243 11 PIMA COUNTY JTED 2855 W. Master Pieces Dr, Tucson, AZ 85741 520.352.5833 30 SAHUARITA UNIFIED 350 W. Sahuarita Road, Sahuarita, AZ 85629 520.625.3502 12 SUNNYSIDE UNIFIED 2238 E. Ginter Road, Tucson, AZ 85706 520.545.2000 13 TANQUE VERDE UNIFIED 2300 N. Tanque Verde Loop, Tucson, AZ 85749 520.749.5751 01 TUCSON UNIFIED 1010 E. 10th Street, Tucson, AZ 85717 520.225.6000 20 VAIL UNIFIED 10701 E. Mary Ann Cleveland Way, Tucson, AZ 85747 520.879.2000 First American Title Insurance Company, and the operating divisions thereof, make no express or implied warranty respecting the information presented and assume no responsibility for errors or omissions. First American, the eagle logo, First American Title, and firstam.com are registered trademarks or trademarks of First American Financial Corporation and/or its affiliates. ©2021 First American Financial Corporation and/or its affiliates. All rights reserved. NYSE: FAF

TAX SEARCH REPORT

Area Code: 601

Parcel Number: 208-11-22503

Situs Address: 17420 W PICACHO RD

Tax Rate: 16.1303

Docket Book:

Page: 7964 1457

Owners Name: Address: BOWERS JACK ROWE JR & HILARY ELAINE JT/RS 17420 W PICACHO RD Section: Township:

MARANA AZ 85653

Legal: BLANCO ESTATES LOT 224

(FORMERLY 201-72-2250)

2022 TAXES UPDATED THRU 07/15/2023

Recorded: 02/02/1987

Exemption Net Assessed

Ratio 10% Full Cash Taxable Value

2022 TOTAL TAX = $433.40

*** 2022 TAXES ROLLED OVER SEE BACK TAX INFORMATION ***

NO LIABILITY BACK TAX INFORMATION UPDATED THRU 07/15/2023

** NO DELINQUENT TAXES FOR THIS PARCEL **

UPDATED THRU DATES: ASSESSMENTS RESOLUTIONS CITY OF TUCSON:

** NO ASSESSMENTS **

** NO RESOLUTIONS **

** NO SOLD ASSESSMENTS **

Book: Page: Block: Lot:
Range: 29 11S 10E
24 47 224
$30,060.00 $0.00 $3,006.00
ORO VALLEY: PIMA COUNTY: 07/15/2023 07/15/2023 07/15/2023 07/15/2023 07/15/2023 07/15/2023 Tuesday, 15 August 2023 02:54 PM Printed: Order: INQUIRY
Page 1 of1
Page 1 of 3 08/15/2023 2:54 PM
Page 2 of 3 08/15/2023 2:54 PM
Page 3 of 3 08/15/2023 2:54 PM

Covenants, Conditions & Restrictions

Thank you for the opportunity to be of service.

Restrictions indicating a preference, limitation or discrimination based on race, color, religion, sex, handicap, familial status, or national origin are hereby deleted to the extent such restrictions violate 42 USC 3604(c).

This information is furnished without fee and without benefit of a complete title search. No liability is assumed by First American Title or Title Security. If it is desired that liability be assumed, you may apply for a policy of title insurance with First American Title Insurance Company.
Page 1 of 4 08/15/2023 3:06 PM
Page 2 of 4 08/15/2023 3:06 PM
Page 3 of 4 08/15/2023 3:06 PM
Page 4 of 4 08/15/2023 3:06 PM
Page 1 of 4 08/15/2023 2:53 PM
Page 2 of 4 08/15/2023 2:53 PM
Page 3 of 4 08/15/2023 2:53 PM
Page 4 of 4 08/15/2023 2:53 PM

Turn static files into dynamic content formats.

Create a flipbook
Issuu converts static files into: digital portfolios, online yearbooks, online catalogs, digital photo albums and more. Sign up and create your flipbook.