El Heraldo de Xalapa 8 de Octubre de 2024

Page 1


EL HERALDO DE XALAPA

Director Editorial: Lic. Rafael Meléndez Terán
Director General: Dr. Rubén Pabello Rojas

Director General

Dr. Rubén Pabello Rojas

Director Corporativo

Ing. Eduardo Sánchez Macías

Director editorial

Lic. Rafael Meléndez Terán

Director Comercial

Lic. José de Jesús López Hernández

Jefa de Redacción

Lic. Ivonne Méndez

Gerente Administrativo

L.A.E. María del Socorro López Lagunes

Jefe de Publicidad

Lic. Óscar Rojas Barradas

El Heraldo de Xalapa es una publicación de lunes a sábado. Editor responsable Ing. Eduardo Sánchez Macías. Número de Certificado de Reserva de Derecho al Uso Exclusivo del título 04-2010052510203900-101. Certificado de Licitud de Título: 15357 Certificado de licitud de contenido 15357. Domicilio de la publicación, impreso y distribuido por El Heraldo de Xalapa, con domicilio en Ávila Camacho No. 10, Col. Centro, C.P. 91000, Xalapa, Ver. TEL. 01 (228) 8419552, 8419319, 841 9363 y 841 9437.

LOCAL

Primera Sección

HERALDO DE XALAPA

ESTILOS

MÉXICO Y EL MUNDO

EL UNIVERSAL

CIUDAD DE MÉXICO

La tarde de este lunes, diputados y senadores, funcionarios del gobierno federal y familiares de la maestra Ifigenia Martínez, quien falleció el sábado pasado, le rindieron un homenaje de cuerpo presente en el salón de sesiones de la Cámara de Diputados.

Después de que legisladores de todos los grupos parlamentarios expresaron en tribuna sus condolencias y destacaron su trayectoria académica, política y de lucha social, se montaron diversas guardias de honor, de miembros del gabinete de la presidenta Claudia Sheinbaum, de legisladores y sus familiares.

A la ceremonia luctuosa que le rindieron legisladores de todos los partidos políticos, donde diversas ocasiones se prolongaron los aplausos para quien fuera la presidenta del Congreso, acudieron sus hijos: Juana Inés, Andrea, Paloma y Alfredo, y varios de sus ocho nietos y siete bisnietos.

Durante el homenaje luctuoso de cuerpo presente, Gerardo Fernández Noroña, presidente de la Mesa Directiva del Senado, destacó que la maestra Ifigenia Martínez haya cumplido con la entrega de la banda presidencial, el pasado 1 de octubre, a pesar de que su salud estaba disminuida.

“Yo quiero resaltar, efectivamente, su presencia el primero de octubre, porque cuando fue la sesión de Congreso General, yo la vi en muy buenas condiciones de salud, y un mes después me sorprendí al encontrarla en una silla de ruedas, con oxígeno suplementario y, además, con la información de que había estado en terapia intensiva los días previos a presentarse en la toma de protesta de la primer mujer presidenta de la república”, dijo.

Y llamó a sus pares a seguir su ejemplo, y tomar en cuenta el mensaje del discurso que preparó para la toma de protesta, pero que ya no leyó por encontrarse en malas condiciones de salud.

“Se ha planteado que en su discurso final nos convoca al diálogo, pero con su ejemplo de vida nos convoca a luchar para que logremos plena igualdad entre hombres y mujeres, que nadie, ninguna mujer nunca más tenga que enfrentar la discriminación, las dificultades, los obstácu-

Legisladores rinden homenaje a Ifigenia Martínez en San Lázaro

los, los prejuicios que Ifigenia Martínez y Hernández, y todas las mujeres sufren, siguen sufriendo y siguen enfrentando todos los días en nuestro país”, dijo.

La diputada Anabell Ávalos (PRI) dijo que Ifigenia Martínez “fue una mujer más que excepcional, fue una mujer de Estado; representa el inicio y la culminación de la lucha histórica de las mujeres por acceder a una vida pública de México”.

Y destacó su labor, a lo largo de varias décadas, en la vida pública del país; así como su paso por la academia. Dijo que todo ello contribuyó a que las mujeres pudieran acceder a cargos que antes sólo se destinaban a hombres.

“No solo perdimos a una compañera brillante, sino a una mujer de izquierda y revolucionaria, con la que coincidimos mucho con sus principios y lucha por la justicia”, expresó la legisladora priista.

El diputado Carlos Alberto Puente (PVEM) dijo que hablar de doña Ifigenia Martínez, “es hablar de una figura de la mayor trascendencia de la historia contemporánea de México”.

“Se trata, no solo de quien fuera la presidenta de esta asamblea y, por lo tanto, también presidenta del Congreso mexi-

cano, sino de una mujer que a lo largo de su vida y su trayectoria, con talento, dedicación y lucidez, abrió brecha a todas las mujeres”, comentó.

Y subrayó que fue pionera en muchos ámbitos, como ser la primera mujer mexicana en obtener la maestría en la Universidad de Harvard, en Estados Unidos.

“Una mujer que se formó para contribuir en este país y abrir la brecha a muchas mujeres, que hoy lo vemos hecho una realidad en la figura de nuestra presidenta, la doctora Claudia Sheinbaum, doña Ifigenia junto con otras mujeres destacadas de este país, abrieron paso para que hoy las mujeres tengan un destino distinto”, dijo.

Por su parte, la diputada Guadalupe Murguía (PAN) se refirió al papel que jugó la maestra Ifigenia Martínez durante el movimiento de estudiantes de 1968, cuando ella se desempeñaba como académica de la UNAM.

“En su momento, enfrentó con una enorme dignidad uno de los momentos más oscuros de nuestra nación, cuando en 1968 se dio el ataque a la autonomía Universitaria y la represión a los estu-

diantes, su enorme convicción por la defensa de la universidad la llevó a sostenerse siempre en su capacidad de concertación, diálogo y gran entereza”, refirió.

“Hoy honramos a una mujer con una destacada trayectoria y que ha dejado su influencia en distintos ámbitos del quehacer nacional, la maestra Ifigenia Martínez se convierte en un ejemplo perdurable para esta y para las futuras generaciones, para los hombres y, por supuesto, también para las mujeres, por su esfuerzo y contribución del México actual, rescatemos su vocación de diálogo y de búsqueda de acuerdos”, dijo.

Por su parte, la diputada Ivonne Ortega (MC) dijo que la maestra Martínez siempre luchó por tener un país de iguales, “hagamos el compromiso con ella de tender puentes, y que esta legislatura no sepulte las causas por las que luchó toda su vida, honrarla es escucharla, descanse en paz”.

El coordinador del PT, Reginaldo Sandoval, destacó la trayectoria de la maestra y su capacidad para buscar el consenso en su vida política.

“Se va una de las mujeres pioneras de la vida pública de México, pero permanecerá por siempre sus ideales, sus logros legislativos, sus decisiones políticas y su congruencia. Ifigenia buscó siempre el consenso para llegar a acuerdos, unir voluntades y la paz social a través del diálogo, seguiremos fielmente su ejemplo”, dijo.

Clara Brugada recorre zonas afectadas de Xochimilco tras lluvia

“Yo vengo a ver la situación, no hay como venir directamente y ver cómo está”, dice la jefa de gobierno, Clara Brugada, quien recorrió las zonas afectadas del barrio de Caltongo en la alcaldía Xochimilco.

En compañía de los secretarios del gobierno de la Ciudad de México y la alcaldesa de Xochimilco, arribaron al barrio de San Francisco Caltongo en la alcaldía Xochimilco para supervisar los trabajos y brindar apoyo a la población afectada por las inundaciones derivadas a las lluvias registradas el pasado 6 de octubre en la zona sur oriente de la capital, donde fueron

instalados un centro de unidad médica y un comedor comunitario. “La jefa de gobierno instruyó a

todos los secretarios que brindemos a la población el apoyo, principalmente haremos las acciones necesarias para

bajar el nivel del agua en los canales”, señaló Myriam Urzua, directora de la Secretaría de Gestión Integral y Protección Civil de la Ciudad de México (SGIPC).

Al respecto de las inundaciones en la alcaldía Milpa Alta puntualizó la secretaria Urzua que ya se encuentra controlada la situación y que las afectaciones que se tienen registradas son en 20 viviendas en la zona de San Pedro Actopan.

Además, el secretario de Gobierno, Cesar Cravioto afirmó que se está valorando las afectaciones en las viviendas y a los agricultores de la zona.

“Estamos desde ayer atendiendo la zona de Caltongo, y estamos trabajando en conjunto para apoyarlos y no dejarlos solos”, mencionó el secretario Cravioto.

MÉXICO Y EL MUNDO

Guanajuato presenta controversia

Constitucional contra reforma al PJ

EL UNIVERSAL

CIUDAD DE MÉXICO

El gobierno de Guanajuato presentó una controversia constitucional en la Suprema Corte de Justicia de la Nación(SCJN) contra la reforma al Poder Judicial.

La controversia fue turnada al ministro Juan Luis Alcántara Carrancá para que decida si la admite o la desecha.

El exgobernador de Guanajuato, Sinhue Rodríguez Vallejo, presentó una controversia constitucional contra la reforma al poder judicial.

De acuerdo con la lista de notificaciones de la SCJN, el recurso fue registrado el pasado 27 de septiembre de 2024, cuando Rodríguez Vallejo todavía era el titular del poder ejecutivo en Guanajuato.

La controversia constitucional fue presentada contra el Congreso de la Unión y las legislaturas que aprobaron las modificaciones a la constitución.

Sergio Gutiérrez Luna va a la presidencia de San Lázaro

EL UNIVERSAL CIUDAD DE MÉXICO

El grupo parlamentario de Morena aprobó proponer ante el pleno a Sergio Gutiérrez Luna como presidente de la Mesa Directiva, en sustitución de Ifigenia Martínez quien falleció este sábado.

La propuesta la planteó el coordinador Ricardo Monreal en reunión plenaria que se desarrolla este lunes de manera privada.

Asimismo, se aprobó que Dolores Padierna sea la vicepresidenta.

PRI exige justicia por asesinato

del alcalde de Chilpancingo

EL

La secretaria general del Partido Revolucionario Institucional (PRI), Carolina Viggiano Austria, exigió justicia por el asesinato y decapitación de Alejandro Arcos, alcalde de Chilpancingo, Guerrero. En entrevista, la senadora lamentó los hechos y afirmó que hay una “terrible” crisis de violencia e inseguridad en el país.

“Creo que Sergio ha hecho muy buen trabajo, yo les propongo que él sea el Presidente, y les propongo que Dolores sea la vicepresidenta porque ella participó por la Presidencia”, declaró.

En la reunión, donde estuvieron 192 legisladoras y legisladores de Morena presentes, se avaló que “todo lo que se acuerde es obligatorio para presentes y ausentes”.

Las propuestas de Presidencia y vicepresidencia, quedaron avaladas a mano alzada en votación económica.

Dijo que el hecho de que al alcalde de Chilpancingo lo hayan decapitado, “es un asunto que nos debe estremecer”.

“Esto es ya absolutamente inaceptable y necesitamos poner las condiciones para que esto deje de ocurrir, no basta con que en el gobierno diga esto no volverá a suceder. Lo que hace falta es un cambio, un golpe de timón en la estrategia de seguridad”.

Pensión para mujeres de 60 a 64 años. Este es el calendario

EL UINIVERSAL

CIUDAD DE MÉXICO

El programa impulsado por el Gobierno Federal para apoyar a las mujeres de 60 a 64 años y que comenzará en el 2025 otorgará un apoyo económico de tres mil pesos bimestrales como reconocimiento de toda una vida de trabajo y a partir de los 65 años podrán percibir la pensión universal, la cual entrega seis mil pesos bimestrales.

La entrega de la pensión a las personas beneficiarias será de manera paulatina, comenzando en el 2025 con las mujeres de 63 y 64 años, mientras que a las edades restantes será en 2026.

Sin embargo, en los municipios con mayoría de población indígena o afromexicana, todas las mujeres desde los 60 años recibirán la nueva pensión desde el próximo año.

¿Cuándo son las inscripciones el programa pensión para mujeres de 60 a 64 años?

Las inscripciones para ser beneficiaria en la Pensión Mujeres Bienestar, se realizarán desde el lunes 7 de octubre hasta el 30 de noviembre en los módulos de la Secretaría del Bienestar.

Los módulos disponibles para la inscripción se pueden ubicar en la página del bienestar con el estado al que pertenecen y el municipio, estos estarán disponibles en un horario de 10 a 16 horas, puede variar por región.

Las inscripciones se realizarán por días según la letra inicial del primer apellido, de la siguiente forma:

» Lunes 7 de octubre: A, B, C

» Martes 8 de octubre: D, E, F, G, H

» Miércoles 9 de octubre: I, J, K, L, M

» Jueves 10 de octubre: N, Ñ, O, P, Q, R

» Viernes 11 de octubre: S, T, U, V, W, X, Y, Z

» Sábado Todas las letras

¿QUÉ DOCUMENTOS SE DEBEN ENTREGAR PARA LA PENSIÓN MUJERES BIENESTAR? Para poder concluir tu registro deberás llevar algunos documentos a los módulos correspondientes que son: Identificación oficial vigente (credencial de elector, pasaporte, cédula profesional, credencial de INAPAM, carta de identidad)

» Acta de nacimiento legible

» CURP (impresión reciente)

» Comprobante de domicilio (no mayor a 6 meses: teléfono, luz, gas, agua, predial)

» Teléfono de contacto (celular y casa)

» Formato de Bienestar llenado La nueva pensión se pagará como todos los Programas para el Bienestar, por medio del Banco del Bienestar, para lo cual se entregarán las tarjetas correspondientes a partir de enero.

“Le hemos exigido a la gobernadora que aclare este asunto, ya antes había sucedido con el secretario municipal y no es la primera vez que pasa. Realmente esto es lamentable, y la forma en cómo sucedió verdaderamente como país, vergonzosa. Lo lamentamos profundamente y exigimos justicia”, recalcó.

En su visita al Senado para entregar las iniciativas de reformas a la Ley General de Procedimientos Electorales y la Ley de Medios de Impugnación, Rosa Icela Rodríguez, secretaria de Gobernación, declinó hacer alguna declaración sobre este tema. “Hoy el tema es la reforma (judicial)”, respondió a los cuestionamientos de los reporteros.

Por su parte, Ricardo Anaya, senador del Partido Acción Nacional (PAN), afirmó que lo que se vive en el país es de “auténtica barbarie. La violencia está imparable… con números escalofriantes”.

Por su parte, el coordinador de Morena en el Senado, Adán Augusto López Hernández, lamentó lo sucedido en Chilpancingo y se pronunció porque se hagan las investigaciones correspondientes.

UNIVERSAL CIUDAD DE MÉXICO

MÉXICO Y EL MUNDO

Michoacán reporta al cien por ciento de su capacidad 12 de 24 presas

EL UNIVERSAL MORELIA, MICH.

Al cien por ciento de su capacidad se encuentran 12 de las 24 presas de la entidad, por lo que hay agua suficiente para abastecer el consumo humano, así como para el riego del ciclo agrícola 2024-2025 y para que beban los animales.

Las otras 12 presas se encuentran entre el 80 y 90 por ciento y es posible que también lleguen a toda su capacidad, por las abundantes lluvias que se registran en el territorio michoacano. En conferencia de presa, el gobernador Alfredo Ramírez Bedolla (Morena), acompañado de Jesús Camacho Pérez, director de la Comisión Nacional del Agua (Conagua) en Michoacán, y de Luis Roberto Arias Reyes, coordinador de la Comisión Estatal del Agua y Gestión de Cuencas (CEAC), explicaron la situación de las presas.

En la región Lerma-SantiagoPacífico las presas que se encuentran al 100 por ciento de almacenamiento son: Tercer Mundo, Barraje Ibarra, Urepetiro y Tepuxtepec; mientras que en la región Balsas están: Los Olivos, Zicuirán, Chilatán, Infiernillo, Agostitlán y Francisco J. Múgica.

Y las que se encuentran a más del 80 y 90 por ciento de su capacidad de almacenamiento son: Cointzio, Malpais, Aristeo Mercado, Laguna del Fresno y Jaripo, en la región LermaSantiago-Pacífico; y La Villita y El Bosque en la región Balsas.

Hasta finales de septiembre ha llovido 51 por ciento más que en 2023 en la región Lerma y un 50 por ciento más en la región Balsas, por lo que el Comité Técnico de Operación de Obras Hidráulicas mantiene trabajos continuos en el desfogue de las presas de manera controlada y preventiva. Asimismo, expusieron que la presa de Cointzio se encuentra al 98.3 por ciento, con lo que se garantiza el abasto de agua por dos años para la capital michoacana, así como para el ciclo agrícola 2024-2025 del distrito de riego 020 Morelia-Queréndaro.

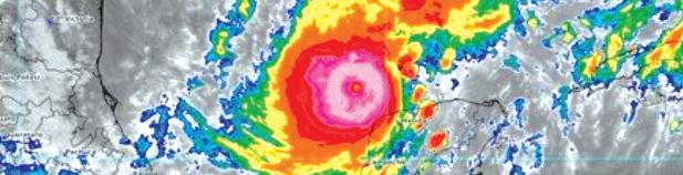
Huracán “Milton” categoría 5, sigue su trayectoria en Golfo de México

EL UNIVERSAL

CIUDAD DE MÉXICO

El huracán “Milton” ha ganado fuerza rápidamente y se ha convertido en un huracán de categoría 5, según la escala Saffir-Simpson, con vientos máximos sostenidos de 250 kilómetros por hora (155 millas), de acuerdo con el Centro Nacional de Huracanes de Estados Unidos (NHC).

Este potente sistema presenta una amenaza significativa en gran parte de la Península de Yucatán.

Protección Civil ha informado que se encuentran en Alerta Roja para 69 municipios ubicados en el centro, norte, noreste, noroeste y oeste del estado de Yucatán, mientras que se ha emitido Alerta Naranja en 37 municipios del este y sur de la entidad, ante la inminente llegada del huracán “Milton”, actualmente clasificado como categoría 5.

HURACÁN “MILTON” PODRÍA AFECTAR

ALGUNOS VUELOS EN EL GOLFO DE MÉXICO

Esta tarde, el Aeropuerto Internacional Benito Juárez de la Ciudad de México (AICM) informó que, debido al huracán “Milton”, algunos vuelos se podrían ver afectados.

Hoy, el fenómeno natural alcanzó rápidamente la categoría 5 en el Golfo de México, con rumbo a Florida, Estados Unidos.

Por lo anterior, el AICM informó que algunas operaciones de despegue y aterrizaje hacia y desde ciudades ubicadas en el Golfo de México y la península de Yucatán se podrían ver afectadas en sus itinerarios.

Recomendaron a los usuarios mantenerse atentos a las indicaciones de las autoridades de protección civil y a los avisos de sus aerolíneas.

EMITEN ALERTA ROJA EN 69 MUNICIPIOS DE YUCATÁN POR HURACÁN MILTON

Protección Civil ha informado que se encuentran en Alerta Roja para 69 municipios ubicados en el centro, norte, noreste, noroeste y oeste del estado de Yucatán, mientras que se ha emitido Alerta Naranja en 37 municipios del este y sur de la entidad, ante la inminente llegada del huracán Milton , actualmente clasificado como categoría 5.

A través de sus redes sociales, las autoridades hicieron un llamado a la población para seguir las recomendaciones de seguridad ante los fuertes vientos y lluvias que acompañarán al huracán. Las principales medidas para durante la llegada del huracán incluyen: Conservar la calma.

Mantenerse informado y seguir las indicaciones de las autoridades.

Permanecer en un lugar seguro.

Desconectar gas, luz y agua para evitar accidentes.

Utilizar el teléfono solo en casos de emergencia.

El Sistema de Alerta Temprana para Ciclones Tropicales ha insistido en la importancia de que los ciudadanos ubiquen sus refugios más cercanos, los cuales pueden consultarse en la página web oficial del gobierno del estado Refugios Yucatán.

Protección Civil también reiteró la importancia de mantenerse informados a través de sus cuentas oficiales y recordó que cualquier emergencia debe reportarse al 911. Ante la peligrosidad de Milton, la población ha sido invitada a tomar todas las precauciones necesarias.

EVACUAN GENTE DE MUNICIPIOS COSTEROS DE YUCATÁN POR MILTON

Ante la cercanía y peligrosidad del huracán Milton, Protección Civil inició la evacuación de gente en municipios de la zona costera de Yucatán.

Asimismo, desde este mediodía se suspendieron actividades no prioritarias y se informó que a partir de las 5 de la tarde se suspenderá el servicio del transporte urbano en Mérida.

Se habilitaron en Mérida 69 albergues y en el interior del Estado se pusieron a disposición escuelas e iglesias como refugios temporales.

De acuerdo con los pronósticos esta tarde-noche Milton afectaría con fuertes vientos y marejadas los principales puertos de Yucatán, principalmente Progreso.

Este mediodía, se evacuó gente de los puertos de Celestún, Progreso, Telchac

puerto, Dzilam de Bravo entre otros. El gobernador Joaquín Díaz Mena viajo a Celestún para pedirle a la gentr acuda a los refugios temporales. Ante el aviso y Alerta, la gente salió a realizar compras de pánico en supermercados y tiendas.

CITIBANAMEX CIERRA SUCURSALES POR HURACÁN MILTON

Ante la fuerza que ha tomado el huracán Milton en las últimas horas, Citibanamex informó que como medida de seguridad para colaboradores y clientes este lunes permanecerán cerradas varias de sus sucursales en varios municipios en la península de Yucatán.

De acuerdo con la firma financiera, en Yucatán, sus 18 sucursales ubicadas en la ciudad de Mérida permanecerán cerradas a partir de este lunes 7 de octubre, así como 6 sucursales localizadas en los municipios de Tizimín, Progreso, Valladolid, Motul, Ticul y Oxkutzcab. Cajeros operan de forma normal Para el caso de Campeche, informó que sus 3 sucursales ubicadas en la ciudad de Campeche y una más en el municipio de Calkiní también permanecerán cerradas a partir del día de hoy.

“Es importante señalar que todos nuestros cajeros ATM ubicados en las sucursales de ambos estados operan de manera normal. Adicionalmente como opción, nuestros clientes pueden utilizar Citibanamex Móvil y BancaNet”, dijo el banco.

Citibanamex añadió que continuará monitoreando la situación en la región y atento a las indicaciones que determinen las autoridades estatales y federales.

MÉXICO Y EL MUNDO

POLICIACA EL HERALDO DE XALAPA

Un accidente vehicular se registró durante la tarde noche del sábado cuando una camioneta Chevrolet terminó impactándose contra un poste de concreto, situación por la cual fue solicitada la presencia de una ambulancia, así como de elementos policíacos para que se trasladarán a tomar conocimiento de lo sucedido.

Éstos hechos se registraron sobre la avenida Cuauhtémoc entre las calles Valdés y Arriaga, sitio hasta el cual se movilizaron paramédico de protección civil, quienes brindaron la atención para hospitalaria a una persona del sexo femenino, quien se encontraba con algunos golpes y que además encontraba embarazada, por lo que fue movilizada al hospital de esta ciudad, para que pudiera ser atendida.

Cabe señalar que dicha femenina viajaba en la camioneta, que provocó este accidente, y donde terminó por impactarse contra un poste de concreto, provocando cuantiosos daños materiales.

El propietario de la camioneta Chevrolet de color blanca, con placas de circulación XH-7175-B del Estado de Veracruz, huyó de lugar para evadir su responsabilidad, ya que viajaba en probable estado de ebriedad, dejando abandonada la unidad y a la femenina embarazada.

Cabe señalar que en este hecho un vehículo de la marca Ford de color, vino con placas de circulación NGS23-01 que se encontraba estacionado resultó con daños trasero impactado por la camioneta.

Colisionó contra poste y abandona a mujer embarazada

Asimismo, al lugar arribaron, elementos de la Policía P reventiva municipal y de T ránsito M unicipal, para tomar conocimiento de este accidente, donde los uniformados de S eguridad

Conductor de motocicleta atropella a su víctima y se da a la

fuga

REDACCIÓN

SAN RAFAEL

Un accidente se registró la tarde de este domingo en calles de este municipio, donde una persona resultó lesionada y fue atendida por técnicos en urgencias médicas.

Los hechos ocurrieron en la calle Miguel Hidalgo, de la colonia La Jungla, donde una persona del sexo femenino de nombre Estela Chuzeville fue arrollada por el tripulante de una motocicleta y resultó con lesiones en diversas partes del cuerpo.

Tras embestir a su víctima, para evitar su responsabilidad el motociclista se dio a la fuga con rumbo desconocido, dejando tirada en el pavimento a la lesionada.

Testigos de los hechos llamaron rápidamente al 911 para solicitar auxilio arribando al sitio técnicos en urgencias médicas de Protección Civil quienes atendieron y valoraron a la persona.

¡MACHETEAN A PAREJA!

P ública M unicipal recabaron datos, mientras que personal de Tránsito se hizo cargo de las unidades. Solicitando así, el servicio de grúa para remolcar la camioneta Chevrolet

Peligroso sujeto atacó con machete a un hombre y una mujer

Con heridas de gravedad fueron llevados a un hospital.

REDACCIÓN

MARTÍNEZ DE LA TORRE

Un hombre y una mujer fueron agredidos a machetazo cuándo se encontraban al interior de un local de maquinitas ubicado en el Portal Hidalgo, en la calle del mismo nombre, zona Centro de esta ciudad, ambos resultaron lesionados por lo que fueron atendidos por paramédicos. El incidente tuvo lugar alrededor de las 17:00 horas de este viernes, en el local denominado como Xbox Game Pass ubicado en el conocido Portal Hidalgo, de acuerdo con los datos recabados las dos personas agredidas se encontraban en el interior del local de maquinitas cuándo un individuo desconocido se introdujo al inmueble y los agredió con un machete para después darse a la fuga. Fueelmasculinoidentificado cómoJaimeHernández, vecino de la comunidad de Luis Echeverría, municipio de Tlapacoyan, quién llevó la peor parte presentando distintas heridas cortantes en el cuerpo, al igual que la fémina, esta última se negó a dar sus datos generales, ambos lesionados fueron atendidos por los paramédicos y trasladados a un hospital para ser valorados. Elementos policíacos implementaron un operativo para tratar de dar con el paradero del agresor, sin embargo, este no tuvo resultados positivos, logrando darse a la fuga con rumbo a Villa Independencia.

y a petición del propietario del vehículo afectado, también fuera remitido, para que el responsable de este accidente responda por los daños a su unidad.

REDACCIÓN MARTÍNEZ DE LA TORRE

Un percance se registró la tarde del sábado donde, afortunadamente, sólo fueron cuantiosos daños materiales.

Los hechos ocurrieron sobre el bulevar Rafael Martínez de la Torre, a la altura de AutoZone, sitio en el que circulaba un vehículo marca Nissan, de la línea Versa, conducido por una mujer, que se impactó por alcance contra una camioneta en su parte trasera. La camioneta resultó con daños en la parte trasera, no obstante, esta se retiró del lugar, mientras que el vehículo resultó afectado de la fase delantera con daños materiales en miles de pesos, al sitio arribaron elementos de la policía preventiva municipal quienes tomaron conocimiento de los hechos.

MUJER HERIDA
CHOCA POR IMPRUDENTE Chofer

Casi mata a un adulto mayor

Motociclista embiste a pareja de abuelitos

Intentaban cruzar por la esquina de una avenida.

REDACCIÓN

MARTÍNEZ DE LA TORRE

Una persona de la tercera edad resultó atropellada la tarde noche de este domingo sobre la avenida Melchor Ocampo esquina con Matamoros, autoridades tomaron conocimiento.

El accidente ocurrió sobre dicha avenida por dónde asegura la esposa del lesionado, que el motociclista circulaba a exceso de velocidad y atropelló a su pareja proyectándose contra un vehículo.

Elementos de la Policía Municipal del grupo motorizado tomaron conocimiento del percance y aseguraron la unidad involucrada, así como su conductor.

Mientras tanto técnicos en urgencias médicas de la Cruz Roja Mexicana, le brindaban la atención prehospitalaria a la víctima y minutos después fue trasladado al hospital IMSS-Bienestar.

La motocicleta marca Honda, tipo Cargo, de color blanco y con placas de

Vuelca camioneta

Los hechos ocurrieron sobre la carretera Misantla-Xalapa.

REDACCIÓN

YECUATLA

La tarde de este sábado se registró un aparatoso accidente sobre la carretera estatal Misantla-Xalapa, en donde una camioneta quedó volcada

Este percance se registró a la altura de la localidad conocida como Luz Bella, perteneciente al municipio de Yecuatla, en donde circulaba una camioneta que se encargaba de pintar las líneas de la carretera, lamentablemente, el conductor perdió el control y terminó volcando la unidad.

La camioneta quedó volcada sobre la cinta asfáltica, por lo que, el tráfico vehicular sobre la zona estuvo parado por unas horas.

Al lugar arribaron personal de Tránsito del Estado y elementos de Seguridad Pública Estatal y del municipio de Yecuatla, quienes ayudaron para retirar la unidad de la zona.

En este percance no se registraron personas lesionadas, solo daños materiales en la unidad volcada.

circulación F16LA del estado de Puebla, se hizo cargo T ránsito Municipal y la con-

Motociclista herido tras chocar contra un perro

REDACCIÓN

MISANTLA

La tarde de este sábado se registró un accidente vial sobre la carretera Misantla-Díaz Mirón a la altura de la colonia Puerto Palchan, en donde una motociclista salió herida tras chocar contra un perro.

Testigos aseguraron que el motociclista iba circulando a exceso de velocidad por la calle Miguel Hidalgo, en la colonia antes mencionada, cuando se le atravesó un perro, el motociclista quedó tirado sobre la cinta asfáltica y el perro a un costado muerto.

Testigos que presenciaron el accidente solicitaron la presencia de los servicios de emergencia, al lugar arribaron paramédicos del Escuadrón Nacional de Rescate quienes brindaron la atención prehospitalaria al lesionado.

Trascendió que no fue necesario llevarlo al Hospital Regional, pues, afortunadamente, el conductor sólo recibió heridas leves en su cuerpo. Lamentablemente, el perrito perdió la vida.

dujo al patio de la dirección, hasta que lleguen a un arreglo ambas partes.

Taxi y camioneta colisionan

Dos mujeres resultaron con crisis nerviosa.

REDACCIÓN

MARTÍNEZ DE LA TORRE

Dos personas lesionadas y daños cuantiosos, fue el resultado de un accidente ocurrido la tarde del sábado en la colonia Ejidal.

Este accidente ocurrió en el crucero de la calle Esteban Baco y Soto y Gama, dónde un taxi, con número económico 446, se impactó contra una camioneta.

De este accidente resultaron con crisis nerviosa dos mujeres, mismas que fueron atendidas por los técnicos en urgencias médicas de la Cruz Roja Mexicana.

La otra unidad involucrada es una camioneta con razón social LAB, con número económico 32, ambas unidades presentaron daños materiales.

De este accidente no tomó conocimiento ninguna autoridad, presumiblemente en el lugar se llegó a un arreglo por ambas partes involucradas.

POLICIACA EL HERALDO DE XALAPA

Conductor embistió a motociclista dejándolo herido

REDACCIÓN

MARTÍNEZ DE LA TORRE

Un accidente vial en el crucero de la avenida Zaragoza y calle Aldama de la zona Centro de la ciudad, lo que dejó como saldo daños materiales y una persona lesionada.

De este accidente se ve involucrada una camioneta de la marca Nissan, propiedad de Agua ISSI, unidad que al llegar a dicho crucero y no hacer alto total, impactó a un motociclista que circulaba sobre la avenida.

Del accidente tomó conocimiento elementos de la Policía Preventiva Municipal y posteriormente Tránsito Municipal, quién se hizo cargo de realizar el peritaje correspondiente para deslindar responsabilidad en el pago de los daños.

Al sitio acudieron técnicos en urgencias médicas de Protección Civil, quiénes se hicieron cargo de brindarle la atención prehospitalaria al lesionado y después de ser valorado, fue trasladado a una clínica u hospital para su atención médica.

Las unidades fueron conducidas al patio de la Dirección de Tránsito, dónde se realizará el peritaje correspondiente.

En Coatzacoalcos

Linchan a presunto ladrón en la Teresa Morales

Lo golpearon y dejaron desnudo los vecinos hartos de los atracos.

ENRIQUE BURGOS COATZACOALCOS

Un presunto ladrón fue linchado por habitantes de la colonia Teresa Morales de Coatzacoalcos. El hecho se registró la noche de este domingo en el sector, del cual no se proporcionaron mayores datos.

De acuerdo con testigos, los enardecidos vecinos atraparon al sujeto cuando intentaba hacer otra de sus fechorías, lo golpearon y desnudaron dejándolo tirado a media calle.

Los colonos están cansados de este tipo de actos por parte de delincuentes quienes ya han entrado a diferentes casas a robar.

Mueren dos primos en enfrentamiento en La Perla

Una balacera entre personas desconocidas en calles de la localidad El Paso, límites con Xometla y El Aserradero en el municipio de La Perla, Veracruz, dejó como saldo dos personas fallecidas, así como una intensa movilización de cuerpos policiales y de personal de la Fiscalía Regional de Justicia con sede en Orizaba. Los finados en vida se llamaron: Manuel Bautista Reyes de 45 años y de ocupación albañil, así como José Ignacio Morales Bautista de 40 años y de ocupación jornalero, ambos con domicilio conocido en la localidad El Paso del municipio perleño.

Alrededor de la una de la madrugada de hoy lunes, se suscitó una intensa balacera entre personas desconocidas en los límites de las comunidades serranas El Paso, Xometla y El Aserradero. El enfrentamiento dejó como saldo la muerte de un albañil y un jornalero, los cuales eran primos y tenían domicilio en la localidad El Paso.

Al sitio donde se registró la balacera,

acudieron oportunamente paramédicos de Protección Civil Municipal, los cuales lamentablemente solo llegaron a confirmar el fallecimiento de los hombres, debido a que ya no contaban con signos vitales.

Aunque los técnicos en urgencias médicas intentaron acordonar y resguardar el lugar del enfrentamiento, la población enardecida se los impidió e incluso se llevaron los cuerpos a dónde eran sus domicilios particulares.

El sospechoso quedó tendido en una de las avenidas, hasta que llegaron corporaciones policiacas quienes lo llevaron a la base de la P olicía E statal. Hasta el momento se desconoce si los vecinos presentarán una denuncia por este hecho en el que intentaron entrar a sus casas.

Alrededor de las dos de la madrugada, hasta dicho lugar colindante con el Parque Nacional Pico de Orizaba, arribaron más de 15 patrullas de la Policía Municipal, E statal y M inisterial, los cuales tomaron conocimiento e intentaron entrevistarse con los familiares de las víctimas, pero estos se encontraban agresivos y les negaron cualquier información.

Incluso algunas personas que aparentemente se encontraban en estado etílico, incitaban a la gente a desarmar a los policías y quemar las patrullas en que habían llegado, situación que por fortuna fue controlada por las propias autoridades policiales.

Pasadas las cuatro de la mañana, hasta el lugar de la balacera llegaron autoridades de la Fiscalía de Orizaba con peritos en criminalística, quienes tomaron conocimiento y se trasladaron hasta los domicilios en donde ya se encontraban los cadáveres, para realizar el levantamiento del cuerpo y trasladarlos al Semefo de Pluviosilla, para los trámites correspondientes de ley.

Así mismo realizaron diligencias correspondientes en el lugar de la balacera, iniciaron una carpeta de investigación y recogieron y aseguraron varios casquillos percutidos de arma de fuego. Las autoridades policiales ejecutaron un operativo de búsqueda y localización de los presuntos participantes en este enfrentamiento, aunque lamentablemente los resultados fueron nulos.

Localizan restos desmembrados de mujer en dos viviendas del Centro de Xalapa

VERÓNICA HUERTA/AVC NOTICIAS

XALAPA

En una casa deshabitada ubicada en la calle González Ortega casi esquina con Insurgentes de la colonia centro de esta ciudad, y a una distancia de seis cuadras del Palacio Municipal, dejaron abandonados restos humanos, que al parecer corresponden a una persona del sexo femenino.

Una llamada al número de emergencias 911 de manera anónima dio aviso a las autoridades de la Secretaría de Seguridad Pública (SSP) estatal del fétido olor proveniente de un inmueble que no es habitado desde hace varios años.

A la calle González Ortega casi esquina con Insurgentes de la colonia Centro de esta ciudad arribaron los policías de la SSP, y de la dirección de Seguridad Ciudadana y Tránsito municipal para inspeccionar el lugar y encontraron una escena criminal, en la tarde del lunes 07 de octubre del 2024.

Al interior del inmueble había restos humanos correspondientes a dos piernas y un brazo, que por sus características pudiera tratarse de una mujer. Las autoridades no localizaron el torso, la cabeza y tampoco el otro brazo faltante. Esta zona del centro se encuentra acordonada y vigilada por policías estatales y municipales, los cuales dieron aviso a la Fiscalía Regional de Xalapa, y a la Dirección de Servicios Periciales a fin de realizar el levantamiento de los restos humanos y entregarlos en el Servicio Médico Forense (Semefo) con dirección en la avenida Arco sur de esta ciudad.

ENCUENTRAN A MUJER SIN VIDA EN EL PARQUE MACUILTÉPETL

Apenas el domingo 06 de octubre por la mañana, personas que asisten a correr al Parque Ecológico Macuiltépetl ubicado en la colonia Progreso Macuiltépetl de esta ciudad, encontraron una mujer adulta sin vida. La víctima vestía un pantalón gris, una blusa negra

y zapatos de vestir. Al lugar llegó un vehículo oficial de Servicios Médicos Forenses (Forenses) para hacer el levantamiento del cuerpo de la mujer sin vida. A 36 horas del suceso en el parque ecológico Macuiltépetl, ninguna autoridad del ayuntamiento local, de la secretaría de Seguridad Pública (SSP) estatal y de la Fiscalía General del Estado han informado de este hecho.

ENCUENTRAN A MUJER

SIN VIDA EN CHOCAMÁN

Alrededor de las 10:00 horas del lunes 07 de octubre fue localizado el cadáver de una mujer con visibles huellas de violencia, en la comunidad San José Neria en el municipio de Chocamán. La identidad de la víctima aún no ha sido confirmada.

El cuerpo sin vida, presentaba signos de violencia física y sexual, estaba desnuda, amarrada de pies y manos, y fue asesinada a balazos antes de ser envuelta en una cobija.

EN CASITAS, TECOLUTLA ASESINAN A MUJER

Antes de las 08:00 horas del día jueves 03 de octubre, en la zona turística El Playón de la localidad de Casitas municipio de Tecolutla fue localizada una mujer que fue asesinada con arma de fuego. Su cuerpo se localizó junto a un negocio de los que se conocen cómo

Vuelca otro tráiler cuando ascendía las Cumbres de Maltrata

AVC NOTICIAS

MALTRATA

Daños materiales y cierre parcial de la circulación vehicular de la autopista 150D Orizaba-Puebla, fue el saldo que dejó la volcadura de un tráiler con caja seca tipo contenedor a la altura de las Cumbres de Maltrata.

De acuerdo al reporte policial, el percance se suscitó en punto de las 8 de la mañana en el kilómetro 232 del tramo carretero La Estancia-La Plaza de Cobro 027 de Esperanza, cuando el operador del tráiler con caja tipo contenedor de color naranja, perdió el control debido a una aparente falla mecánica y volcó sobre el carril de alta.

Al sitio ubicado en la zona limítrofe de Veracruz con Puebla, poco antes de llegar al lugar conocido como El Mirador, arribaron elementos de la Guardia Nacional, así como paramédicos de Capufe, los cuales tomaron conocimiento y confirmaron que no había personas lesionadas, sólo daños materiales y la obstrucción parcial de la circulación vehicular.

Al sitio de igual manera llegó personal de grúas quién ha iniciado con las maniobras correspondientes para levantar la unidad y posteriormente trasladarla a un corralón, para el deslinde de causalidades, además de restablecer completamente la circulación vehicular de la vía rápida 2100 Veracruz- México.

Palapas que venden mariscos y bebidas a la orilla de la playa. Metros adelante sobre la arena estaba el cuerpo de un varón a escasos 10 metros del mar; y a unos cuantos metros había otro hombre también asesinado con herida de bala.

EN SAN RAFAEL ASESINAN

A FEMENINA Y DEJAN

EL CUERPO SEMIDESNUDO

Entre las matas de plátano cerca de un camino vecinal en el municipio de San Rafael, fue abandonado un cuerpo sin vida correspondiente a una mujer, lo que alteró la tranquilidad de las familias.

El plantío de plátanos se ubica cerca de la carretera federal 129 que conduce a las poblaciones de la localidad de Casitas municipio de Tecolutla y Nautla.

El cuerpo de la mujer presentaba huellas de violencia, no tenía ropa íntima en la parte inferior, la dejaron en medio de las matas de plátano cerca de un camino vecinal qué conduce a la localidad de Calle Chica; fue localizado en la tarde del jueves 03 de octubre.

EN PEROTE ASESINAN A FÉMINA

El miércoles 02 de octubre en la calle Hidalgo colonia Centro en la zona comercial de la cabecera municipal de Perote fueron asesinados 2 hombres y una mujer en pleno día; las tres víctimas estaban en una casa.

Joven muere tras derrapar en motocicleta en la sierra de Zongolica

AVC NOTICIAS ZONGOLICA

Tras perder el control, derrapar y golpearse la cabeza con el pavimento, un joven motociclista perdió la vida de manera trágica e instantánea sobre el camino que conduce de Zomajapa a Piedras Negras, en la zona serrana de Zongolica; deceso que generó una inmediata movilización de cuerpos policiales, de rescate y de personal de la Fiscalía.

Se conoce que, el percance se registró durante la tarde de ayer domingo 6 de octubre sobre dicho camino, poco antes de llegar al lugar conocido como La Cabañita, luego de que el joven que vestía pantalón de mezclilla y chamarra gris, perdiera el control de su motocicleta en color rojo, derrapara y se golpeara la cabeza fuertemente con el pavimento.

El joven pereció desangrado y por un traumatismo craneoencefálico severo, por lo que paramédicos de Protección Civil municipal únicamente llegaron a confirmar su fallecimiento.

Al sitio ubicado a 9.4 kilómetros de la Cabecera Municipal de Zongolica, también llegaron oficiales de la Policía Municipal, Estatal y Ministerial Acreditable, así como personal de la Fiscalía de Zongolica con peritos forenses, quienes tomaron conocimiento y efectuaron el levantamiento del cuerpo, mientras que la motocicleta fue trasladada a un corralón en donde quedó a disposición de las autoridades.

Turn static files into dynamic content formats.

Create a flipbook
Issuu converts static files into: digital portfolios, online yearbooks, online catalogs, digital photo albums and more. Sign up and create your flipbook.