
RECICLAN PODER
En total 22 alcaldes electos en Veracruz ya habían gobernado sus municipios.

Gobernadora reporta 90% de suministro de medicamentos a nivel estatal.
![]()

En total 22 alcaldes electos en Veracruz ya habían gobernado sus municipios.

Gobernadora reporta 90% de suministro de medicamentos a nivel estatal.
Tanto en Veracruz, Boca del Río, Medellín, Alvarado y Xalapa, maestros y alumnos podrán ausentarse los días 30 de junio y 01 de julio.



Permite la conectividad entre el Pacífico y el Atlántico, es incluso una alternativa al canal de Panamá. ABASTECEN MEDICAMENTOS EN CENTROS DE SALUD Y HOSPITALES

Para optimizar asignación de docentes, evalúan condiciones y requerimientos de los centros educativos.

Permite la conectividad entre el Pacífico y el Atlántico, es incluso
AGENCIAS
CIUDAD DE MÉXICO
La Presidenta de México, Claudia Sheinbaum Pardo, destacó que el Corredor Interoceánico del Istmo de Tehuantepec es un proyecto que aporta al desarrollo económico de todo el país, además de que es un reconocimiento al sureste mexicano.
“Es una obra muy importante. El sureste es la zona, la región, o era la zona menos conectada, tanto para pasajeros como para carga. Ahora, el Interoceánico no solamente es una conectividad entre Veracruz y Oaxaca, sino que permite la conectividad entre el Pacífico y el Atlántico, es una alternativa al canal de Panamá. Y en la medida en que vaya aumentando la carga, en esa medida todavía se va a ir incrementando la movilidad.
“Entonces, este es un Polo de Desarrollo para todo el país, no solamente para el sureste. Y luego, las otras conectividades, que son sumamente importantes”, puntualizó en la conferencia matutina: “Las mañaneras del pueblo”.
Expuso que, además este corredor llegará a Guatemala a través de su línea K, para ello se está en pláticas con el gobierno de este país.
El director general del Corredor Interoceánico del Istmo de Tehuantepec, Octavio Sánchez

Guillén, resaltó que el proyecto a su cargo ya está en operación como una nueva vía para el comercio mundial, y sobre todo, como una herramienta para generar empleo, desarrollo y bienestar.
“Hace más de 100 años surgió el sueño de unir el océano Pacífico con el Atlántico a través del Istmo de Tehuantepec. Hoy este sueño es una realidad”, agregó.
Informó que el Corredor Interoceánico cuenta con mil 200 kilómetros (km) de vías rehabilitadas, además de que se construyen 30 laderos, ocho patios de trasvase, 41 estaciones y mil 583 obras de
drenaje.
Destacó que la Línea Z, que se encuentra operativa desde diciembre del 2023 se renovaron 308.5 km de vía, se construyeron siete laderos, tres patios de trasvase, 16 estaciones, 82 puentes y 290 obras de drenaje. Mientras que en la Línea FA, opera desde septiembre de 2024 en 330.45 km de vías, 11 estaciones, nueve laderos, 91 puentes, dos patios de trasvase, 667 obras de drenaje. Entre estas dos líneas se ha transportado a 108 mil 506 pasajeros y 514 mil 303 toneladas de carga.
Por su parte, los trabajos que se realizan en la Línea K, culminan en
junio 2026 en sus tres tramos de obra y la cual irá de Ciudad Ixtepec a Ciudad Hidalgo, conectará a la Red Ferroviaria Mexicana de Centroamérica en la frontera con Guatemala y al Puerto Chiapas. Destacó que Corredor Interoceánico tiene a su cargo la coordinación de diversas Administraciones del Sistema Portuario Nacional (ASIPONAS), ubicadas en: Coatzacoalcos, Veracruz a la cual se modifica la altura de un rack de hidrocarburos para el paso de trenes, cuyos trabajos tiene un avance del 80 por ciento; en Puerto Salina Cruz, Oaxaca en la que se
construyen dos centros reguladores de tráfico con un avance del 75.9 y 43.9 por ciento y se edificarán Terminales Especializadas de Contenedores; en Puerto Dos Bocas, Tabasco; en Puerto Chiapas donde además de realiza la Unidad de Protección Marítima y Portuaria que presenta un avance del 94 por ciento, un edificio administrativo con 70 por ciento de avance y la ampliación de las vías del tren con un 98 por ciento de avance. Además, recordó que el Corredor Interoceánico contempla 14 Polos de Desarrollo para el Bienestar de los que se encuentran en adjudicación el ubicado en Ciudad Ixtepec en Oaxaca; por concluir la licitación el que se encuentra en San Blas Atempa, Oaxaca; la licitación de los Polos Tapachula I y II, en Chiapas está abierta del 11 de junio al 7 de julio, mientras que los que se encuentran en Teapa, Tabasco y Arriaga, Chiapas están en proceso de enajenación a título gratuito por los gobiernos estatales. Señaló que también se han realizado obras comunitarias y de reubicación de vivienda, por ello, de diciembre 2022 a la fecha se ha realizado 800 asambleas comunitarias, 90 obras, 27 mil 912 acciones de vivienda y este año se implementarán en beneficio de más de 100 mil personas 61obras comunitarias: 21 en Veracruz, siete en Tabasco, 12 en Oaxaca y 21 en Chiapas.


Julia Méndez Campos
Le planteó hacer un acuerdo general en materia de migración, seguridad
»AGENCIAS CIUDAD DE MÉXICO.- La Presidenta de México, Claudia Sheinbaum Pardo, calificó como muy buena la llamada telefónica que sostuvo con su homólogo de Estados Unidos, Donald Trump, mientras realizaba su visita a Canadá para participar en la 51ª Cumbre de Líderes del G7 e informó que le propuso hacer un acuerdo general en materia de migración, seguridad y comercio.
“Hemos alcanzado muchos acuerdos: Hoy tenemos una frontera mucho más
segura. Hay un acuerdo en términos de seguridad, que prácticamente es un primer acuerdo que se firmó en Washington y ahora es avance de ese acuerdo que ya prácticamente está listo para determinar la colaboración y la coordinación, a partir del respeto a nuestras soberanías. En migración, hay una disminución muy grande de la migración que pasaba por México. Y, entonces, le planteé que ¿por qué no teníamos un acuerdo general, un acuerdo que tuviera que ver con seguridad, con migración y también con comercio?”, puntualizó.
Explicó que además de este acuerdo, el Tratado entre México, Estados Unidos y Canadá (T-MEC) se mantiene y se revisará en el 2026 como está programado. Asimismo, la Jefa del Ejecutivo Federal, destacó que durante la conversación le comentó a su homólogo la importancia de
que este nuevo acuerdo integral reconozca los esfuerzos y el trabajo de las familias mexicanas que viven en Estados Unidos. “Le mencioné también la importancia de reconocer a los mexicanos en Estados Unidos; mexicanos, familias mexicanas que llevan años viviendo, que trabajan por Estados Unidos, que él sabe de estas familias. Se lo planteé y dijo: ‘Es cierto, hay muchas familias mexicanas que trabajan por el bien de nuestro país’. Entonces, le planteé este acuerdo general y él estuvo de acuerdo”, agregó.
Informó que este viernes, el secretario de Economía, Marcelo Ebrard Casaubon, se reunirá con el secretario de Comercio de Estados Unidos, Howard Lutnick, para seguir con los avances en materia de comercio. Mientras que, en seguridad y migración, son temas que se verán con el Departamento de Estado.

Heraldo de Tuxpan es una publicación de lunes a sábado. Editor responsable Ing. Eduardo Sánchez Macías. Número de Certificado de Reserva de Derecho al Uso Exclusivo del título 04-2016062417532400-101
Primera Sección

Gobernadora reporta 90% de suministro de medicamentos a nivel estatal
AGENCIAS
ZONGOLICA
Con la llegada de las Camionetitas de la Salud a Zongolica, el Gobierno estatal reforzó la entrega de medicamentos en las Altas Montañas, en coordinación con el IMSSBienestar, para fortalecer la cobertura en las zonas más apartadas de Veracruz.


La gobernadora Rocío Nahle García subrayó que una de las prioridades de su administración es garantizar el acceso efectivo y gratuito a los servicios médicos y medicinas; para ello revisa semanalmente, con el secretario de Salud, Valentín Herrera Alarcón, los reportes de abasto.
“Las Camionetitas de la
Salud traen el mensaje, la esperanza y la felicidad para nuestros pueblos con los medicamentos”, destacó el coordinador estatal del IMSS-Bienestar, Roberto Ramos Alor, durante la jornada.
La titular del Ejecutivo ha informado que actualmente la entidad presenta un 90 % de abasto en los centros de salud,

Los textos deberán promover valores, cultura e identidad veracruzana »AGENCIAS
XALAPA.- Con el objetivo de fomentar la creación literaria en niñas, niños, jóvenes y adultos, así como promover la identidad y los valores del pueblo veracruzano, la Editora de Gobierno del Estado convoca a participar en el 15º Concurso de Cuento Infantil 2025. Podrán inscribirse personas nacidas en el estado de Veracruz, sin importar su lugar de residencia actual, en las categorías Infantil y Juvenil (menores de 18 años) y Amateur (mayores de 18 años). La convocatoria estará
vigente hasta el 13 de octubre. Los cuentos deberán estar dirigidos al público infantil y fomentar temas como identidad cultural, tradiciones, paz, justicia, libertad, tolerancia, igualdad de género, derechos humanos, cuidado del medio ambiente, así como la preservación y difusión de valores sociales. Además, deberán estar libres de errores ortográficos y gramaticales, y cuidar la calidad literaria. La extensión requerida es de cuatro a ocho cuartillas. Los textos deberán enviarse exclusivamente por correo electrónico a la dirección: concursocuentoeditora@ gmail.com.
Se seleccionarán tres ganadores por categoría, cuyos cuentos serán publicados dentro de la Colección Cuentos Infantiles de esta casa editorial. El jurado estará conformado por cuatro especialistas en literatura y cultura. Los resultados se darán a conocer el 17 de noviembre del presente año, y las personas ganadoras serán contactadas por escrito y/o vía telefónica.
Para más información consultar la página www.editoraveracruz.gob.mx y Facebook: @ EditoraVeracruz.
y en algunos casos el 100 %, tanto en unidades de atención primaria como en hospitales. Este trabajo conjunto se suma al programa federal Salud Casa por Casa, impulsado por la presidenta Claudia Sheinbaum Pardo, el cual garantiza atención médica integral a personas adultas mayores y con discapacidad
Para optimizar asignación de docentes, evalúan condiciones y requerimientos de los centros educativos
AGENCIAS
XALAPA
Personal de la Secretaría de Educación de Veracruz (SEV) realiza recorridos por escuelas de la entidad como parte del programa Maestro al Aula, para conocer las necesidades docentes, en atención a los reportes presentados por directivos
mediante brigadas comunitarias que recorrerán los hogares.
En Veracruz, el modelo opera en las 19 regiones, con la participación de mil 309 profesionales sanitarios, entre médicas, médicos, enfermeras y enfermeros, quienes brindarán atención directa a más de un millón 14 mil personas.
y padres de familia.
Servidores públicos de la Dirección de Recursos Humanos recopilan información sobre los requerimientos y evalúan la situación actual de cada plantel, lo que permitirá distribuir a las profesoras y profesores en las escuelas y reducir el número de centros educativos con ausencia de maestras o maestros.
El personal se presenta debidamente identificado con la directiva del plantel y lleva a cabo pase de lista al personal asignado a ese centro de trabajo. Las inspecciones se realizan en apego estricto a la normativa vigente y con respeto a los derechos de los docentes.
La dependencia garantiza un proceso transparente y justo, que permita identificar áreas de mejora y tomar decisiones en beneficio de la educación, refrendando su compromiso con la mejora continua de la enseñanza en el estado.



»REDACCIÓN
TUXPAN.- Una obra de pavimentación inconclusa en la calle Moctezuma, ubicada entre la colonia Del Valle y 17 de octubre, ha generado serias afectaciones a vecinos del sector, quienes denunciaron que la vialidad se convirtió en una auténtica “alberca” tras las recientes lluvias, provocando inundaciones en al menos cuatro viviendas.
La obra, que abarca aproximadamente 600 metros y representa una inversión superior a los 8 millones de pesos, se encuentra detenida debido al presunto retraso en el pago
al contratista, lo que ha impedido su conclusión en tiempo y forma. De acuerdo con los vecinos del lugar, apenas se ha completado entre un 30 y 40 por ciento de la pavimentación.
“Lo más preocupante es que el agua se metió hasta las salas y comedores de las casas. Además, el agua de drenaje se mezcló con la pluvial, generando un foco de contaminación que podría causar enfermedades. Hacemos un llamado urgente a las autoridades para que se concluya esta obra y se instalen las dos tragatormentas prometidas, ya que sin un

buen sistema de desagüe esto volverá a pasar”, declaró el afectado.
Los habitantes han realizado trabajos improvisados para desviar el agua, y aunque personal del municipio acudió con maquinaria para ayudar a drenar el área, los vecinos insisten en que la única solución definitiva es la conclusión total del proyecto con las obras pluviales necesarias.
“Ya es momento de que nos cumplan. No queremos más afectaciones. Necesitamos una solución permanente”, sentenciaron los entrevistados
Estarán sin el vital líquido residentes de más de 20 colonias, por mega fuga
»REDACCIÓN
TUXPAN.- Una fuga de gran magnitud en la línea de conducción de 36 pulgadas, ubicada en la localidad de Boca del Monte, provocará la suspensión del servicio de agua potable en al menos 24 colonias de Tuxpan que cuentan con suministro continuo, informó la Comisión del Agua del Estado de Veracruz (CAEV), a través de su Oficina Operadora en este municipio.
De acuerdo con el comunicado oficial, los trabajos de reparación ya se realizan de manera continua y sin interrupciones, y se estima que el servicio podría restablecerse en un plazo de 48 horas, es decir, entre el jueves 19 y viernes 20 de junio, dependiendo de las condiciones del terreno y del avance de la obra.
La afectación será únicamente para las colonias con servicio continuo. En tanto, el Sector Colonias mantendrá su programación de tandeo del 17 al 20 de junio, sin cambios, detalló la dependencia estatal.
Las colonias que se verán afectadas por esta suspensión temporal son:
Fraccionamiento Vista Hermosa, Fraccionamiento Rodríguez Alcaine, Universitaria, Colinas del Sol, México Lindo, Sol de Justicia, Ampliación Obrera, Obrera, CEAS, Los Pinos, Del Bosque, Villas de Guadalupe, Niños Héroes, Los Mangos, Ampliación Los Mangos, INF. Lomas del Sol, El Retiro, Militares Retirados, Insurgentes, Libertad, Democrática, San Antonio, Joaquín Hernández Galicia y el Mirador
La CAEV exhortó a la ciudadanía a almacenar agua y hacer uso responsable del recurso, especialmente en las zonas directamente afectadas, y reiteró su compromiso de trabajar con prontitud para minimizar las molestias ocasionadas.

En su participación durante la capacitación denominada Derechos Humanos, derogando la segregación y la discriminación LGBTTTIQAP+, la diputada Astrid Sánchez Moguel precisó la importancia de este tipo de foros y los consideró fundamentales para continuar visibilizando la importancia de hablar actualmente de estos temas y sobre la intención de brindar información a las y los servidores públicos involucrados en la toma de decisiones.
En este evento, celebrado en el auditorio Sebastián Lerdo de Tejada del Poder Legislativo, la presidenta de la Comisión Permanente para la Igualdad de Género del Congreso del Estado dio la bienvenida al ponente de la capacitación, Hugo Miguel Sánchez Badillo, así como a la diputada Victoria Gutiérrez Pérez y al diputado José Reveriano Marín Hernández.
Al dirigirse a las y los asistentes, la legisladora Sánchez Moguel externó que el objetivo de la capacitación es poder llevarse un poco de aprendizaje al respecto, “si bien es cierto que cuando
Agradece la legisladora por la ponencia denominada Derechos Humanos, derogando la segregación y la discriminación

hablamos de población diversa o de derechos humanos aún hay resistencia, también es verdad nuestro compromiso con el tema y con la lucha por el bienestar de la comunidad”.

»AGENCIAS
XALAPA.- El secretario de Gobierno de Veracruz, Ricardo Ahued Bardahuil, respondió a quienes lo han acusado de haber reducido su papel al de un simple “conserje” del Palacio de Gobierno. El funcionario dijo que ese tipo de comentarios no lo ofenden, al contrario, lo honran. “Por ahí dicen que soy conserje. A estas alturas de mi vida, cuando a un servidor público lo quieren ofender diciéndole que es conserje, más que ofenderme me halagan. El conserje es un personaje de respeto, de trabajo, que hace una labor importante”, soltó.
La declaración surge en medio de los trabajos de remodelación que se realizan en el Palacio, ordenados por la gobernadora Rocío Nahle. De acuerdo con Ahued, el edificio estaba en condiciones lamentables y “a punto de quemarse”. “El Palacio estaba a punto de quemarse. Yo les voy a mostrar próximamente cómo estaba la red eléctrica, las goteras, una serie de cosas, cortocircuitos, baños que no sirven, pintura deshecha. Va a quedar muy bien”, afirmó.
Aseguró que su papel no es andar en reflectores, sino garantizar que las cosas funcionen, y que el Palacio sea, literalmente, una “casa digna del gobierno de quien manda”. Aunque sus detractores insinúan que ha perdido peso político, Ahued defendió su gestión y dijo que no está en la Secretaría para hacer negocios ni prestarse a favores. Recordó que desde la dependencia a su cargo se han atendido más de 7 mil audiencias y que diariamente participa en las reuniones de seguridad junto a autoridades estatales y federales. Además, aseguró que el Palacio tiene las puertas abiertas para los 212 municipios del estado.
Previamente, hicieron uso de la voz la coordinadora estatal de la Casa de las Muñecas Tiresias, Jocelyn Paulina Rodríguez; el fundador de la asociación Orgullo Xalapa A.C, Leonardo Ruiz

Moreno, así como la especialista en temas de derechos humanos y diversidad, Aruna Rafaela Pulido Cano.
Asistieron a este foro, celebrado en el marco del mes del orgullo, la
En total 22 alcaldes electos en Veracruz ya habían gobernado sus municipios
»REDACCIÓN
Xalapa.- Al menos 22 alcaldes electos en Veracruz ya habían gobernado sus municipios en años anteriores. Algunos regresan por el mismo partido; otros lo hacen bajo nuevas siglas, en lo que representa una estrategia para conservar o recuperar el poder local.
Este fenómeno muestra un patrón de continuidad política basado en la reelección no consecutiva, el cambio de partido o la alternancia entre familiares o redes cercanas. Lo cual evidencia un reciclaje de perfiles políticos que reaparecen en distintos colores, pero con el mismo control territorial.
Las elecciones municipales se celebraron el 1 de junio en los 212 ayuntamientos de Veracruz. Aunque en algunos casos persisten impugnaciones, la mayoría ya cuenta con autoridades electas para el periodo 2025–2028.
En Mariano Escobedo, Baldomero Montiel Estévez, del PT, ha ocupado el cargo en dos ocasiones: de 2011 a 2014 por la coalición PRD-PT-Convergencia, y de 2018 a 2021 por el PRD. En Camarón de Tejeda, Susana Guadalupe Ameca Parissi, será presidenta municipal ahora por Morena, pero ya fue alcaldesa en 2018-2021, entonces bajo las siglas del PAN. En Pajapan, José Luis González Hernández, será alcalde por el Partido del Trabajo, pero ya fue alcalde entre 2018 y 2021, aunque entonces representó a Nueva Alianza -ahora extinto-.
En Atzalan José Homero Domínguez Landa, del PRI va por su tercera vez como alcalde. Fue electo nuevamente tras haber sido presidente municipal en 2008–2010 y 2018–2021, también con el mismo partido. En Cosoleacaque, Cirilo Vázquez Parissi regresa a la presidencia por el PRI, partido con el que también gobernó de 2018 a 2021. Actualmente, su hermano, Ponciano Vázquez Parissi, también es alcalde del municipio por el mismo partido.
En Coxquihui, Lauro Becerra García, del PAN, fue electo nuevamente luego de haber gobernado entre 2018 y 2021, también por Acción Nacional. En Ixhuacán de los Reyes, José Luis Vargas González, electo por el PRI, ya había sido alcalde de 2018 a 2021 con la misma fuerza política.
En Ixhuatlán del Café, Viridiana Bretón Feito vuelve al cargo por el PAN, partido con el que fue alcaldesa en el periodo 2018–2021. En La Perla, Miguel Ángel Bautista García repite como alcalde por el PAN, tras haber ocupado el cargo en 2018–2021. En Tamiahua, Citlali Medellín Careaga regresa a la presidencia municipal por el Partido Verde, con el que ya había gobernado entre 2018 y 2021.
En Oluta, Jesús Manuel Garduza fue electo nuevamente, ahora por el PAN. Ya había sido presidente municipal en 2008–
titular del Instituto Veracruzano de las Mujeres (IVM), Zaira Fabiola del Toro Olivares, así como representantes de la Comisión Estatal de Derechos Humanos y de diversas organizaciones civiles.
2010 y 2014–2017, en ambos casos por otros partidos. En Coahuitlán, Isaac García Álvarez regresa por el PRI. Ya había sido alcalde entre 2018 y 2021 como candidato independiente.
En Landero y Coss, Pedro Domínguez García fue electo por el PRI, aunque gobernó entre 2018 y 2021 con el PAN. En Tihuatlán, Raúl Hernández Gallardo fue electo por Movimiento Ciudadano. Ya había sido presidente municipal entre 2018 y 2021, entonces por el PRD. En Tlacotalpan, Christian Romero Pérez, postulado por Morena–Partido Verde, fue alcalde en 2018–2021 como independiente.
En Tlacotepec de Mejía, Ansberto Marino Espinoza Murillo regresa al cargo ahora con el PAN. Anteriormente, gobernó en 2018–2021 por Nueva Alianza. En Tomatlán, Nicolás Prado Morales fue electo por el PAN, aunque gobernó de 2018 a 2021 con Nueva Alianza.
En Zaragoza, Miguel Ángel Grajales Mateo fue reelecto por segunda vez consecutiva, ahora como candidato independiente. Gobernó el periodo anterior (2022–2025) por Morena. En El Higo, Juana María Martínez Guerrero fue electa por el PT. Ya había sido presidenta municipal entre 2018 y 2021 por el PRI. En Carlos A. Carrillo, Francisco Javier Molina Arrioja, ahora postulado por la coalición Morena–Partido Verde, fue alcalde en el periodo 2018–2021 por el PRI.

Vecinos en la calle Mango Manila, alzan la voz ante una problemática que aseguran, lleva meses sin solución
»REDACCIÓN
TUXPAN.- Habitantes de la calle Mango Manila, en la colonia Los Mangos, han alzado la voz ante una problemática que aseguran lleva meses sin solución: una fuga de agua que no ha sido atendida por la Comisión del Agua del Estado de Veracruz (CAEV), a pesar de múltiples reportes realizados.
De acuerdo con testimonios de los vecinos, la fuga ha estado presente desde hace más de tres meses, generando un constante escurrimiento de agua potable que se desperdicia día y noche, corriendo por la vialidad y generando encharcamientos, lodo y malos olores.
“Ya hemos llamado varias
veces, pero nadie ha venido. Lo que más coraje da es que mientras muchas colonias no tienen agua, aquí se está tirando a la calle”, expresó molesta una de las residentes afectadas.
Además del desperdicio del recurso, los habitantes advierten que la constante humedad ha comenzado a deteriorar el pavimento, lo que podría derivar en

daños mayores y riesgos para quienes transitan por la zona, tanto a pie como en vehículo. Los colonos hicieron un nuevo llamado a la CAEV y a las autoridades municipales para que atiendan con urgencia esta fuga, ya que además de representar un daño ambiental, es un ejemplo de ineficiencia en el manejo de los servicios públicos.


Estas obras incluyen la construcción de guarniciones, banquetas y pavimentación con concreto hidráulico
»LIZBETH ARGÜELLES
TUXPAN.- Con el objetivo de mantener a los comités de obras informados sobre los detalles de los proyectos, los plazos de ejecución y los beneficios esperados, las autoridades municipales han iniciado reuniones informativas clave para este ejercicio fiscal.
Asimismo, buscan abrir un espacio para que los vecinos expresen
sus inquietudes y aporten sugerencias, asegurando que las obras respondan a las necesidades reales de la comunidad.
En representación del alcalde, participaron Jesús Carballo Serrano, director de Desarrollo Social y Magdiel Patricio Padilla, coordinador de Obras Públicas, para informar sobre la ejecución de estos proyectos.
Las calles específicas que se verán beneficiadas son Antonio Plaza y Sor Juana Inés de la Cruz en la colonia Ampliación Azteca, y la calle Miguel Hidalgo en la colonia Álvarez, por lo que estas intervenciones son cruciales para mejorar la calidad de vida de los residentes, facilitando el tránsito peatonal, vehicular y elevando la plusvalía de las zonas.
Estas obras incluyen la construcción de guarniciones, banquetas y pavimentación con concreto hidráulico, buscando transformar la infraestructura local.




»ENRIQUE BURGOS
COATZACOALCOS.- Un avance del 80.38 por ciento lleva la obra de adecuación de altura del rack de ductos de hidrocarburos en la zona
industrial de Coatzacoalcos, con lo que se facilitará el paso del ferrocarril del Corredor Interoceánico del Istmo de Tehuantepec (CIIT). Se trata de las tuberías que trasladan hidrocarburos para las diferentes empresas asentadas en la región, dichos trabajos iniciaron en septiembre del 2023, formando parte de la ampliación de los muelles 7 y 9 del puerto de Pajaritos, así como la conexión con el etano, ducto que dará servicio a plantas
como Braskem Idesa.
De acuerdo con el responsable del CIIT, Octavio Sánchez Guillén, dicho procedimiento también permitirá el paso del ferrocarril debajo de los ductos.
Mencionó que esto forma parte del proyecto logístico más importante del sureste de México, representando una importancia estratégica.
Detalló que en la Administración del Sistema Portuario Nacional

Se han conformado consejos municipales de protección civil por las lluvias
ENRIQUE BURGOS
COATZACOALCOS
Los primeros municipios del sur de Veracruz se mantienen al pendiente de los fenómenos meteorológicos que puedan dejar lluvias importantes en la zona, tal como ocurre con Erick en el pacífico y que sus efectos podrían dejar precipitaciones en Coatzacoalcos y la región.
Óscar Sarracino, coordinador regional de Protección Civil, explicó que ciudades como Agua Dulce y Las Choapas,
son las que en este momento ya son susceptibles, por lo que ya se han organizado en su consejo municipal para prevenir a la población.
“Ya tuvieron sesión de consejo municipal lo que es Las Choapas y Agua Dulce que son de los principales donde luego tenemos problemas, ya tuvieron su sesión de consejo, ya está la sesión abierta para estar monitoreando cuestiones de lluvia, también se está haciendo limpieza en alcantarillado, cunetas, poda de árboles, preparación para las brigadas comunitarias dentro de los municipios”, indicó.
Mencionó que con antelación se han visitado los sitios que son utilizados como refugios temporales de familias que puedan ser afectadas.
Pidió a la población evitar tirar basura o sacar sus desechos cuando no ha pasado el camión recolector, pues con las lluvias, los residuos terminan en las alcantarillas, formando un tapón que no permite que el agua fluya y se presenten inundaciones.
(ASIPONA) de Coatzacoalcos se cuenta con 2.6 kilómetros de muelles y 12 posiciones de atraque concesionadas, a las que se suman otras 19 ubicadas en la Terminal Logística de Pajaritos (TLP).
En el puerto se dispone de 12 bodegas con una capacidad total de almacenamiento de 55 mil metros cuadrados, lo que permite una amplia gama de operaciones. Sumado a la movilización de distintos tipos de carga, desde conte-
Buscan respaldar a la población ante delitos que les preocupen
ENRIQUE BURGOS COATZACOALCOS
Más de 100 elementos de la Guardia Nacional llegaron a Coatzacoalcos, para realizar tareas de proximidad social y la población se sienta más segura.
Efrén David Rosales Cruz, oficial de la corporación, explicó que el objetivo es que la ciudadanía se sienta respaldada ante cualquier situación que pueda
nerizada, granel agrícola, productos químicos, maderas, metales, minerales, petroleros y carga rodada. Con esto el gobierno busca fortalecer la capacidad del puerto y la zona industrial, en este momento el recinto puede recibir buques de gran calado, de hasta 250 metros de eslora, 40 metros de manga y 11 metros de calado.
preocuparles.
“Estamos realizando proximidad social para que la población se sienta más segura y para verificar obviamente como se encuentra la zona, cualquier cosa se pueden acercar con nosotros, estamos en la mayor disposición”, indicó.
Dichos recorridos se realizan en áreas con mayor afluencia de ciudadanía en coordinación con la Secretaría de la Defensa nacional (SEDENA) y policías estatales, desplazándose en el primer cuadro de Coatzacoalcos.
“Hay compañeros de proximidad que están en el centro, en la costa, en la central de autobuses y en diferentes áreas; otros más están patrullando, y también se pueden acercar a ellos”, agregó.
Con esto la Guardia Nacional espera recuperar la confianza de la sociedad de Coatzacoalcos y fortalecer las tareas para inhibir delitos.

El Heraldo de Xalapa
Demandan audiencia con autoridades estatales para externar las razones de su rechazo
AGENCIAS VERACRUZ
Taxistas de la Alianza de Transportistas y Anexos del estado de Veracruz se concentraron en la ciudad del puerto para expresar su rechazo al ingreso de las aplicaciones que prestan el servicio de traslado de pasajeros a través de automóviles particulares.
Al respecto, el presidente adjunto del Servicio de Taxis de la Central de Autobuses de Veracruz (Sertacaver), Raúl Mendoza Alducin, refirió que representantes de Uber, InDrive y Didi sostendrán una reunión con la gobernadora del estado para solicitar autorización para prestar el servicio en el territorio veracruzano.
Mendoza Alducin presumió que la reunión se tiene programada para el 26 de junio próximo.
Jueves 19 de Junio de 2025

“Hemos escuchado a través de los medios de comunicación de que de alguna manera va a haber una plática con las aplicaciones que quieren entrar al estado de Veracruz, que se van a sentar con la gobernadora, así como el secretario de Gobierno, para llegar a un acuerdo y quizá puedan entrar, ¿qué es lo que estamos
solicitando? Que no entren estas aplicaciones”, expresó. En ese sentido, el líder taxista pidió una audiencia con la gobernadora del estado para expresarle sus inquietudes sobre las aplicaciones Uber, InDrive y Didi y la problemática que pudiera provocar su ingreso a la entidad. El presidente adjunto de

Aunque los recientes temporales son efectivos, no son suficientes para llenar al río Jamapa
»AGENCIAS
VERACRUZ.- Las recientes precipitaciones pluviales son positivas y ayudan a paliar la falta de agua en los ríos, pero no se puede cantar victoria ni decir que el estiaje ya pasó, advirtió Agustín Andrade Murga, exfuncionario municipal y del organismo operador de agua en el municipio de Veracruz.
Admitió que esas lluvias sí tienen un efecto benéfico si se les ve la disponibilidad del líquido, pero no son suficientes para llenar al río Jamapa, principal abastecedor de agua de la conurbación Veracruz-Boca del Río.
Admitió que las lluvias de los últimos días sí son un paliativo ante la escasez del líquido y
del afluente que desemboca en Boca del Río. Sin embargo, admitió que ya es algo, ante la disminución hídrica que se sufre cada año en la conurbación Veracruz-Boca del Río a causa del estiaje.
“Ahorita se recargarán los mantos freáticos, ya que las lluvias no habían empezado y la poca humedad que cae en el suelo se evapora. Ya empezaron las lluvias y por ahí hay un huracán, que es un poco raro porque no es temporada de huracanes.”
“Sí hay cierto riesgo, pero al menos se mantiene aquí el agua y creo que si se aproxima más a Veracruz seguramente habría más agua”, señaló Andrade Murga. Destacó que es común ver poco efecto de las lluvias, pero si se analiza la situación, en este año no hay muchas afectaciones y la naturaleza siempre compensa.
Andrade Murga fue enfático en que el efecto de las lluvias aún está por verse, pero en forma preliminar el panorama es muy alentador. Explicó que el río Jamapa crece cuando llueve en la montaña, no tanto cuando llueve en Veracruz. Aquí en Veracruz el agua pluvial se va al suelo. El río Jamapa se forma con los escurrimientos de varios ríos que aportan desde la zona de Orizaba, de Puebla de hecho, indicó.

Sertacaver manifestó que el ingreso de las aplicaciones representará una competencia desleal para los trabajadores del volante, ya que los particulares que prestan el servicio de traslado de pasajeros no pagan lo que a ellos les exige la ley.
Raúl Mendoza Alducin advirtió que la demanda del servicio
Tanto en Veracruz, Boca del Río, Medellín, Alvarado y Xalapa, maestros y alumnos podrán ausentarse los días 30 de junio y 01 de julio
»REDACCIÓN
VERACRUZ.- En cinco municipios de Veracruz serán suspendidas las clases en todos los niveles educativos, los días lunes 30 de junio y martes 01 de julio con motivo de las fiestas del Carnaval de Veracruz 2025, lo que representa un puente vacacional de cuatro días.
El gobierno del estado anunció que la secretaría de Educación de Veracruz (SEV) autorizó la suspensión de labores docentes
podría disminuir en el caso de que se autorice el ingreso de Uber, InDrive y Didi. Finalmente, Mendoza Alducin propuso que los particulares presten el servicio de traslado de pasajeros mediante concesiones en el caso de que las autoridades estatales les autoricen su ingreso a la entidad.
y administrativas los días lunes 30 de junio y martes 01 de julio para los municipios de Veracruz, Boca del Río, Medellín, Alvarado y Xalapa, con motivo del Carnaval de Veracruz. La medida aplica para el personal del sistema estatal y federalizado adscrito a Oficinas Centrales, Delegaciones Regionales y planteles de todos los niveles educativos ubicados en dichos municipios, destaca el comunicado oficial.
Esta disposición, emitida por la Dirección de Recursos Humanos, responde a una práctica habitual que permite a la base trabajadora participar en una de las festividades más representativas de la entidad, justifica el gobierno del estado.
Cabe mencionar que en mayo del 2025, la secretaría de Educación de Veracruz (Sev) permitió el mega puente vacacional que inició el jueves 01 viernes 02, sábado 03, domingo 04, lunes 05, y regresaron a laborar el martes 06.
La diferencia es que en mayo se fueron de puente vacacional el personal docente y administrativo que labora en las escuelas de los 212 municipios de la entidad veracruzana; y por festejos del Carnaval de Veracruz 2025 solo autorizaron descanso para cinco municipios.

En este mundo hiperconectado, sobreexpuesto y aparentemente valiente, los actos de cobardía no han desaparecido; solo han cambiado de forma. En 2025, la cobardía no siempre se esconde en las sombras: muchas veces se disfraza de silencio, de apatía o incluso de una sonrisa diplomática. No hablamos del miedo natural a lo desconocido, sino de la renuncia voluntaria a actuar con ética, responsabilidad o humanidad. Hoy, más que nunca, enfrentamos formas de cobardía modernas, cómodas y, por lo tanto, peligrosas.
La cobardía del silencio digital. Vivimos en una era donde las redes sociales amplifican las voces, pero también eluden la acción. Vemos injusticias grabadas en video, escuchamos discursos de odio, presenciamos ataques contra los más vulnerables, y, aun así, elegimos pasar de largo con un “no me meto”. Guardar silencio ante el abuso, en cual-


CINCO ACTOS DE COBARDÍA QUE DEFINEN AL SIGLO XXI
quier plataforma o contexto, es uno de los actos de cobardía más recurrentes de nuestro tiempo. ¿Cómo enfrentarlo? Con valentía civil. Denunciar, compartir información verificada, levantar la voz, aunque incomode. La neutralidad, ante el abuso, siempre favorece al opresor.
La cobardía emocional. En 2025, millones de personas mantienen relaciones que no desean, callan sentimientos que los consumen o abandonan sin despedirse. La falta de honestidad emocional, el ghosting, y el miedo a tener conversaciones incómodas son cobardías cotidianas que erosionan vínculos y afectan la salud mental colectiva. ¿Cómo enfrentarlo? Con madurez y responsabilidad afectiva. Decir lo que sentimos, dar la cara, y aprender a irnos sin herir, pero sin escondernos.
La cobardía laboral La figura del jefe que grita desde la pantalla o el compañero que se apropia de ideas ajenas es
ISRAEL VS IRÁN: DESDE LA ÓRBITA DE LA TRISTEZA (CRÓNICA DE UN OBSERVADOR INTERESTELAR)
DOVALINA
Desde nuestra plataforma de observación geoestacionaria, a 36,000 kilómetros sobre el Mediterráneo Oriental, registramos otro estallido, el mapa brilla de rojo otra vez, mis sensores no distinguen rezos de misiles, ni profecías de uranio enriquecido, pero los humanos abajo parecen convencidos de que matar al vecino es el camino hacia Dios.
Israel lanza, Irán responde, irán lanza, Israel responde, los unos, con el trauma tatuado en su ADN por siglos de persecución, los otros, con la rabia clavada en la memoria de imperios desmembrados. ¿Quién empezó? ¿Quién termina? ¿Quién se atreve a preguntar eso cuando la respuesta es una nube negra sobre un hospital?
Nosotros, que venimos de una civilización que superó las guerras hace mil ciclos tras perder nuestro planeta original por arrogancia y “razones sagradas”, los observamos con un silencio que duele, no porque se maten —los humanos tienen derecho a su libre albedrío violento—, sino porque parecen no aprender. Ni del dolor, ni del pasado, ni de sí mismos.
He visitado ambos territorios en mis misiones camufladas, en Israel vi madres que entierran a sus hijos con himnos y rabinos que citan el Talmud entre las ruinas, en Irán vi poetas detenidos por pedir paz y niños que dibujan misiles en lugar de cometas, no se odian porque se conocen, se odian porque no se han mirado.
Su historia común está escrita en el mismo desierto, Abraham es patriarca de ambos, pero en lugar de sentarse juntos a contar cómo los dioses se
turnan para hablarles, se lanzan drones, como si en la sangre del otro pudieran borrar al suyo.
Aquí, en el Consejo de Observadores, lo llamamos el Síndrome del Polvo Sagrado: el trastorno que sufren las especies que creen que un pedazo de tierra es más valioso que una vida.
Desde nuestra perspectiva galáctica, no hay buenos ni malos. Hay dolor acumulado, manipulaciones de poder y una industria bélica que se alimenta de cadáveres adolescentes, la energía emocional que emiten estas guerras es tan densa que oscurece el campo cuántico de la región. ¿Y aún se preguntan por qué no aterrizamos?
No lo haremos, no hasta que construyan templos donde las bombas sean ilegales y los líderes lloren en lugar de vengar, no hasta que la palabra “enemigo” desaparezca de sus alfabetos.
Y si algún día se preguntan qué pensaban los dioses mientras ellos se aniquilaban en nombre de los dioses, les diremos la verdad: Ningún dios estaba allí.
Solo el eco de su ego.
más común de lo que se cree. Pero más común aún es el colaborador que prefiere callar ante el maltrato, dejar pasar irregularidades o actuar en contra de sus valores “para no perder el trabajo”. ¿Cómo enfrentarlo? Con redes de apoyo. Las denuncias aisladas son difíciles, pero cuando se colectiviza la valentía, la injusticia se acorrala. La ética profesional no puede ser negociable.
La cobardía del anonimato agresivo. Detrás de perfiles falsos, muchas personas difaman, acosan, cancelan o humillan. El anonimato digital ha dado lugar a una generación de valientes de pantalla que jamás sostendrían su discurso cara a cara. Cobardía disfrazada de justicia social. ¿Cómo enfrentarlo? Con autenticidad. Denunciar, bloquear, pero también crear espacios seguros de diálogo, donde el desacuerdo no implique violencia.
La cobardía de la indiferencia climá-
tica y social. Saber que el planeta se desmorona, que miles migran por hambre o guerra, y seguir viviendo como si nada pasara es uno de los actos de cobardía más graves y globales. Vivimos en la era de la información, y no actuar, no cambiar hábitos, no exigir justicia, ya no es ignorancia: es indiferencia cobarde. ¿Cómo enfrentarlo? Con coherencia. Consumir menos, informarnos más, actuar localmente y votar con la conciencia ambiental y social despierta. En resumen, la cobardía del siglo XXI no grita, pero sí se esconde en los pequeños actos cotidianos que nos hacen perder humanidad. No es necesario un enemigo visible para actuar con valor. Hoy, el reto es atrevernos a ser valientes en lo invisible, en lo cotidiano, en lo ético.
Porque la peor forma de cobardía no es el miedo a actuar es el miedo a ser íntegro.

MENOS AGUIRRE, MÁS ALMADA
Javier Aguirre no cambió. Volvió — por tercera vez— a la Selección Nacional con las mismas ideas, estrategias y modos de juego. Regresó por la petición (o súplica) de su amigo Juan Carlos Rodríguez, exalto comisionado de la Federación Mexicana de Futbol, para arreglar el desastre de colocar a Jaime Lozano como técnico de la Mayor, porque la prioridad de la Bomba no era cómo iba a jugar el equipo.
La nueva era del Vasco nos sumerge —otra vez— en su mundo, sus maneras de enfrentar los juegos, de entenderlos. Su visión de cómo se consiguen los objetivos. Aguirre no arriesga, no es atrevido. Su estilo no es vistoso, no contagia, no deslumbra; es pasivo, no activo. Todos los equipos de Javier luchan, pelean, “muerden”, se desviven por la marca, defienden, ponen el corazón por delante, ensucian el juego y, después, buscan atacar. Así es y así será el entrenador.
Aguirre quiere la mejor Selección en la historia de las Copas del Mundo, en
2026. Quién sabe si —con lo que tiene— le alcance, porque para competirle a los mejores en un Mundial, se necesita futbol, algo que no está entre las preferencias del Vasco.
Para lograr este histórico objetivo, se requiere que Javier sea menos Aguirre y más Almada (Guillermo, el extécnico uruguayo del Pachuca), para dar con un juego efectivo, seductor y atractivo. Hago referencia a lo que tenemos más cerca, pero bien puede tomarse como referencia a Guardiola, Arteta, Flick, Klopp o Luis Enrique. Lo sé, una utopía. La Selección Nacional sigue sin convencer, a menos de un año del Mundial. Mantuvo dudas en los amistosos contra Suiza y Turquía, e increíblemente con República Dominicana, ya en la Copa Oro. Lo ideal es que México haga historia de la buena, como país anfitrión, aunque también podría ser lo contrario. El tiempo se les acaba al Vasco y su gente.
AGENCIAS POZA RICA
Un nuevo socavón se ha formado en la calle Ávalos, ubicada en la colonia Benito Juárez, una vía que se intercepta con el bulevar Adolfo Ruiz Cortines y que es altamente utilizada por automovilistas; la aparición de este hundimiento generó inquietud entre los residentes de la zona, quienes también subrayan afectaciones a su red de drenaje sanitario por el colapso del concreto. Vecinos señalaron que este desperfecto no solo afecta la superficie de rodamiento, sino que también ha causado estragos en la red de drenaje sanitario; reportaron que la tubería podría estar taponeada, resultando en la inundación de viviendas cercanas con aguas nauseabundas. La preocupación se agudiza ante la llegada de la temporada de lluvias, pues los ciudadanos

temen que las precipitaciones puedan magnificar el socavón, convirtiéndolo en un hueco de proporciones aún mayores que podría impedir por completo el paso de vehículos; la posi-

»AGENCIAS
Tihuatlán.- Las lluvias registradas han provocado que aumente el escurrimiento de hidrocarburo sobre el arroyo de la comunidad de Jiliapa, situación que no se soluciona y en donde habitantes exigen la presencia de Petróleos Mexicanos.
El líder de las comunidades indígenas agrarias, Damián Andrés Flores, precisó que además del aceite esparcido por una gran extensión, el escurrimiento provoca fuerte olor y el aumento de la contaminación, no solo en la comunidad, sino en zonas aledañas.

bilidad de un colapso mayor genera incertidumbre sobre la movilidad y la seguridad en esta importante arteria vial. Son los mismos automovilistas quienes tomaron la iniciativa de señalizar el desperfecto carretero utilizando un palo y cinta de precaución; los conduc-

“Hace dos semanas ocurrió lo mismo y personal de Petróleos Mexicanos solo se asoma en sus camionetas, observa el área y ya no regresan, sin embargo, el deterioro de sus líneas es destapada por la naturaleza, donde las lluvias afloran todo el aceite de una fuga que ya tiene meses y no se controla”, resaltó. Andrés Flores detalló que, la afectación en los mantos acuíferos, el beneficio de agua para los animales en la comunidad, los cuales pueden morir ante la falta del líquido, es un problema que se agrava y puede ser lamentable, si la empresa no interviene y frene el escurrimiento de hidrocarburo.
Agrega que, Jiliapa es una zona rural abandonada, donde sus habitantes sobreviven a la contaminación y otros daños generados por las instalaciones deterioradas de Petróleos Mexicanos, donde las fracturas y fugas en sus ductos son frecuentes y más en estos tiempos de lluvias.

tores improvisaron una advertencia para alertar a otros usuarios de la vía, en la búsqueda de prevenir que, especialmente durante la noche, algún vehículo caiga en lo que describen como una “trampa mortal”. Los afectados subrayaron que el desperfecto podría generar un daño mayor a los ciudadanos, ya que poco a poco las planchas de concreto están colapsando, por lo que indican, la avenida podría venirse abajo en cualquier momento.
Autoridades anticipan desalojo de familias de la colonia ribereña, por crecimiento del río Cazones
»AGENCIAS
Poza Rica.- Ante el monitoreo constante del crecimiento en el nivel del río Cazones, las autoridades municipales de Poza Rica han activado un refugio temporal, preparándose para el posible desalojo de familias que residen en las colonias ribereñas. Las instalaciones de la “Casa del Migrante” han sido habilitadas y designadas como el albergue temporal oficial.
Autoridades informaron que la “Casa del Migrante” cuenta con las condiciones necesarias para albergar a más de 100 personas,
garantizando un espacio seguro y adecuado para quienes deban abandonar sus hogares temporalmente.
Destacaron que esta capacidad permite atender a un número significativo de familias, brindando tranquilidad y apoyo en momentos de incertidumbre. El personal de Protección Civil y otras dependencias municipales se encuentran en alerta para coordinar cualquier acción.
La activación de este refugio temporal se realiza con el propósito de estar atentos y preparados ante cualquier necesidad que surja por parte de los ciudadanos, aclararon que no se trata de una evacuación inminente, sino de una medida precautoria para asegurar que, en caso de ser necesario, existan las condiciones para resguardar a la población vulnerable.
Destacaron que cualquier situación de emergencia o para solicitar información y apoyo, se han puesto a disposición de la ciudadanía los números telefónicos: 911 para emergencias, así como el 782 826 3403 y el 782 883 76 88.

Piden obras para La Ceiba, principalmente rehabilitación de todas las calles, así como el tema del drenaje
REDACCIÓN TUXPAN
Un grupo de ciudadanos provenientes de la Comunidad de la Ceiba arribaron al palacio municipal, para entablar un nuevo diálogo con el Presidente Municipal, para conocer los avances en la gestión de sus obras prioritarias.
Rodolfo de la Cruz Meléndez; responsable de la Sección Antorchista de Poza Rica y Tuxpan, informó que las principales obras que solicitan es la rehabilitación de todas las calles, así como el tema del drenaje, donde se van a beneficiar a más de 800 ciudadanos.

El entrevistado mencionó que tienen varios años gestionando estas obras, además de tratar de comunicarse con las autoridades municipales sin respuesta positiva, por ello tomaron la decisión de llegar al ayuntamiento con una pequeña comitiva, con el objetivo de entrevistarse con la máxima

Obligarán limpieza en terrenos baldíos
Impulsan aplicación de la Ley 588 para sancionar a dueños del descuido de propiedades abandonadas
»IRIS ROMÁN
TUXPAN.- Con el objetivo de fortalecer las acciones de prevención contra enfermedades transmitidas por vector como el dengue, zika y chikungunya, el jefe de la Jurisdicción Sanitaria No. 2, Cuauhtémoc Pérez Juárez, informó que en los próximos días sostendrá reuniones con alcaldes de la región para abordar la Ley Estatal 588, la cual fue promovida recientemente en la “Red Veracruzana de los Municipios por la Salud”, llevada a cabo
autoridad local y saber si sus obras han sido contempladas en el paquete de obras de este año.
“Estas peticiones no son nuevas, ya las dejó encaminadas el anterior alcalde y hoy sub secre-

en San Andrés Tuxtla.
Dicha ley establece medidas concretas para prevenir la proliferación de vectores, destacando la obligación ciudadana de mantener limpios sus terrenos.
“Aquí en Tuxpan, al igual que en otros municipios de nuestra jurisdicción, es común encontrar solares baldíos en completo abandono, lo cual representa un riesgo sanitario. Los propietarios deben ser sancionados, ya que su descuido afecta a toda la comunidad”, expresó Pérez Juárez.
El funcionario subrayó que, si un ciudadano se esfuerza por limpiar su propiedad, los demás deben hacer lo mismo, ya que todos tienen la responsabilidad de contribuir a un entorno saludable. “Mantener nuestros espacios limpios es una obligación que va más allá de lo individual; es un compromiso colectivo con la salud pública”.
Finalizó señalando que la Jurisdicción Sanitaria busca concientizar a la población y hacer cumplir la ley para evitar brotes de enfermedades que ponen en riesgo la vida de los habitantes.

tario de gobierno José Manuel Pozos Castro, quién nos informó que si estaban contempladas para este año y hoy queremos constatar que fuimos tomados en cuenta por la actual admi-
Rogelio Franco duró 1,556 días de estar en proceso
LIZBETH ARGÜELLES TUXPAN
El político Tuxpeño Rogelio Franco Castán, logró su libertad, luego de pasar 1, 556 días de estar en proceso, primero recluido en un penal y posteriormente en arraigo en su domicilio.
Fue el pasado 16 de junio, cuando logró que quedara anulada la última medida que restringía su libertad absoluta, llegando a su fin, lo que él mismo calificó como una pesadilla.
“Ha llegado, por fin, el camino hacia la libertad, fueron años duros, marcados por la injusticia y la separación de quienes más amo, nada fue más doloroso que salir de casa y dejar atrás a mis hijas, hace casi dos años, incluso me prohibieron
nistración, porque son muchas las necesidades que se tienen, pero estas son las prioritarias”, explicó.
Agregó que les preocupa la situación precaria en la que viven cientos de familias tuxpeñas, no solo en las comunidades, sino también en las colonias de la cabecera municipal y que se acentúan precisamente con la llegada de las lluvias, por lo que urge la atención de las autoridades correspondientes.
“Viven en una situación muy precaria que se acentúa con las lluvias, se proliferan los mosquitos, hay problemas de salud por enfermedades gastrointestinales y se vive mal por la necesidad de servicios básicos”, concluyó.
comunicarme y convivir con mi pequeña Victoria, la menor de mis hijas, a quien no vi crecer y cuyo abrazo extrañé cada segundo, ella, sin saberlo, se convirtió en nuestra mayor inspiración para resistir y seguir adelante”, señaló el éxito dirigente estatal del Partido de la Revolución Democrática.
Agregó que por fin volverá a estar junto a su familia y agradeció a su mamá, a sus hijas, sus amigos que nunca lo dejaron solo en esta travesía jurídica, pues aseguró que con la resolución de su caso se da un paso importante hacia la justicia y el respeto al Estado de Derecho en Veracruz, no es solo por su libertad, sino por la esperanza de que ningún otro padre, hijo o ciudadano tenga que pasar por lo mismo.
Agradeció además a sus abogados “Luis Enrique González Lira y Enrique Tadeo Castillo, quienes, junto a su equipo no cesaron en la lucha por la vía jurídica, para lograr su liberación en 11 delitos”.



Mientras Sean “Diddy” Combs enfrenta un juicio por delitos relacionados con trata de personas y explotación sexual en el centro de Manhattan, un nuevo testimonio se suma a las acusaciones en su contra. El productor de cine James Cummings, de 57 años, asegura que el rapero intentó agredirlo sexualmente en un gimnasio de Los Ángeles, lo que desató un enfrentamiento físico entre ambos.
De acuerdo con declaraciones ofrecidas al medio británico Daily Mail, el presunto incidente ocurrió en 2002, cuando Cummings y el artista estaban solos en el área de vapor del centro deportivo.
“Entro al baño de vapor. Él me mira. Yo también lo miro, pero no pienso nada porque ya lo había visto otras veces. De repente, se pone de pie, estira los brazos como si tocara el techo, se inclina hacia mí y, de pronto, siento sus dedos en mis piernas”,
relató.
Cummings afirmó que intentó detenerlo, pero Combs se le lanzó encima.
“Fue rarísimo. Estaba sobre mí, tratando de hacerme sex. oral, mientras yo luchaba por quitármelo de encima.”
Asegura que logró golpearlo en el rostro y le gritó para que se detuviera, pero el rapero volvió a atacarlo.
“Lo tomé del cuello y lo golpeé varias veces más. Lo arrastré fuera del baño de vapor y lo empotré contra la pared. Yo estaba desnudo.
Él también.”
Después de dejarlo en el suelo, Cummings corrió envuelto en una toalla hacia la recepción para pedir ayuda. Al regresar al área de vapor acompañado por otras personas, Combs ya se había marchado. “Corrió por la puerta trasera”, comentó.
Según el productor, el personal del gimnasio le informó que Diddy no era miembro, pero acostumbraba

a pagar en efectivo para ingresar únicamente a la sala de vapor. Aunque logró defenderse, reconoce que la experiencia lo dejó emocionalmente afectado y lo llevó a un periodo de depresión. Tiempo después del suceso, revivió el trauma al ver el video en el que Combs agrede a su entonces pareja, Cassie Ventura.
Las visitas frecuentes de Combs a baños de vapor
En 2023, medios internacionales reportaron que Combs solía frecuentar un baño público en Nueva York, donde habría tenido encuentros con hombres. Su exguardaespaldas, Gene Deal, aseguró que el rapero visitaba ese lugar hasta tres veces por semana antes de ser arrestado por manejar una red criminal.
Actualmente, el proceso judicial contra Diddy ha entrado en su sexta semana. Desde el inicio, el artista ha negado todos los cargos. El rapero también ha sido señalado por múltiples casos de abuso y acoso.
AGENCIAS
CIUDAD DE MÉXICO
A pesar de que Lucero Mijares quiere tomar un poco de distancia de sus famosos padres, los cantantes Lucero y Manuel Mijares, a la joven no le molesta que la definan como una “nepobaby”.
“Creo que está padre, es justo como tener este escaloncito en el que los fans de tus papás se hagan tus fans, y está bien, pero también depende mucho del talento de la persona, porque hay hijos de artistas que han querido cantar, bailar o actuar, y no por ser hijos de artistas son famosos”, expresó Lucero Mijares. Alexander Acha, quien también es hijo de otro famoso, como lo es el cantante Emmanuel; opinó a diferencia de Lucero Mijares, que el ser considerado dentro de ese término no es al cien por ciento correcto, porque según explicó, al ser hijos de un artista tan reconocido como su padre no se la ha puesto fácil al labrar su propia carrera, ya que se espera más de él y además ha tenido que aguantar mucho hate en las redes sociales.
Quien salió a la defensa de ellos fue Yahir, debido a que dichas declaraciones fueron hechas durante la conferencia para anunciar su show “Entre Cómplices”, donde estarán en el mismo escenario los cuatro integrantes del equipo Las Estrellas (Lucero Mijares, María León, Yahir y Alexander Acha), del programa “Juego de Voces”.
“Nosotros que estuvimos un rato con ellos (Lucero, Mijares y Emmanuel) fue un agasajo lo que nos enseñaron, y fue mucho, ahora imaginen ellos que son sus hijos, que han estado en las buenas y las malas, en cada momento que han vivido sus papás, esto se trata de constancia, de esfuerzo y profesionalismo, todo eso ellos lo han mamado, lo traen ahí porque es una enseñanza constante y eso los hace ser los grandes artistas que son”, dijo Yahir.
Lucero señaló que al menos para ella es una bendición tener los padres que tiene, porque además de ser sus mejores amigos con los que puede hablar de cualquier cosa, son unos grandes maestros que todos los días le enseñan cosas de la carrera que en ninguna escuela o empresa le pueden enseñar.

Alberto Vázquez fue hospitalizado
AGENCIAS
CIUDAD DE MÉXICO
Alberto Vázquez, recordado por temas como “Maracas”, ha despertado preocupación entre sus fans, luego de trascendiera que fue hospitalizado de emergencia en Torreón. De acuerdo con varios medios locales, el cantante fue ingresado a la clínica 71 del IMSS, donde tuvo que
ser intervenido. Actualmente estaría en terapia intensiva. Aunque no se han dado detalles sobre los motivos que lo llevaron hasta el quirófano, fuentes cercanas a la familia han dicho que Vázquez se encuentra delicado pero estable, y confían en que logrará recuperarse. Incluso, explicaron que, en las últimas semanas, el ícono del rock and roll había presentado problemas de
salud debido a otros padecimientos de salud, aparentemente ajenos al episodio ocurrido este miércoles. Hasta el momento ni la familia ni el equipo del intérprete han salido a confirmar o desmentir esta información.
Los que sí se sabe es que, desde hace algún tiempo, Alberto radica en el Rancho Santa Julia, ubicado en las afueras de Matamoros, Coahuila. Su última publicación en redes sociales está fechada a inicios de este mes y se trata de una fotografía junto a su hijo menor.
Primera Sección
Jueves 19 de Junio de 2025

AGENCIAS
MADRID
Las recientes declaraciones de Ivet Playà, acerca de su vínculo amoroso con Alejandro Sanz, reavivan también el testimonio que Marta Marín, una bailarina española, hizo en 2012, a través del que reconoció haber sido amante del cantante por cuatro años. En 2012, la revista española “Lecturas” entrevistó a Marín, una joven catalana que conoció a Sanz en 2007, en uno de los conciertos que el músico ofreció en Las Vegas, ciudad en la que ella residía en aquella época. De acuerdo con Marta, que en su adolescencia fue conductora de un programa juvenil español, asitió al concierto porque un amigo suyo, mánager de un prestigioso restaurante de Las Vegas, le pidió que lo acompañase. El concierto se llevó a cabo el 20 de noviembre del 2007, en el Palms Hotel, mismo donde Alejandro Sanz se estaba hospedando. Ella y su amigo tenían boletos en primera fila, debido a que Nicolás Colate fue quien le obsequió los boletos al restaurantero, eso orilló a que fueran invitados al backstrage del concierto, en donde se encontró con Sanz por primera vez y donde, además, surgió la atracción entre los dos. Ahí también se encontraba Raquel Perera, exesposa del cantante pero que, en ese tiempo, apenas eran novios, aunque eso no lo sabía Marín. Recordó que, cuando el backstage terminó, los invitaron a seguir con la conversación en la habitación donde Raquel y Alejandro se hospedaban.
AGENCIAS LOS ÁNGELES
El actor estadounidense Eric Dane, famoso por su trabajo en series como “Grey’s Anatomy” o “Euphoria” y que en abril anunció que padece esclerosis lateral amiotrófica (ELA), señaló este lunes que perdió el control de su brazo derecho. “Ha dejado de funcionar por completo”, dijo en una entre -

“Pensé que quizá Raquel era su novia, aunque no vi ninguna muestra de cariño hacia ella en toda la noche; yo me acababa de comprar un iPhone y estaba mirando mis fotos de viajes, Alejandro se acercó y me quitó el teléfono, se lo quité porque tenía fotos mías en bikini, empezamos a tontear, tuvimos complicidad y miraditas toda la noche”, relató a la revista. Al despedirse, fue ella quien se acercó a él para preguntarle si quería su télefono y él lo anotó, sin importar que Raquel estaba viéndolo todo, según contó la joven bailarina.
Al día siguiente, el músico le envió el primero de decenas de mensajes que intercambiarían diariamente, a partir de ese momento y, aunque en principio, se hablaban de todo, con el tiempo, las conversaciones serían, en su mayoría, de índole sexual. “La conversación fue subiendo de tono y acabamos hablándosos de intimidades, me dejé cautivar, le seguí el juego y me gustaba, con el tiempo, se fue convirtiendo en una especie de adicción, luego acababan siendo, básicamente, conversaciones sexuales, él me pedía que le mandara fotos y me las mandaba a mí; si un día no mandaba
vista en el programa “Good Morning America”.
Dane, de 52 años, señaló estar preocupado por cómo el avance de la enfermedad pueda afectar a sus otras extremidades.
“Tengo un brazo funcional. Mi lado dominante. Mi lado izquierdo funciona, mi lado derecho ha dejado de funcionar por completo. Siento que quizás en un par de meses más tampoco podré tener la
fotos se quejaba, ´ ¿dónde está mi fotito de hoy?, mándamela que no puedo vivir sin ellas”.
Y aunque hablaban todo el tiempo, tuvieron que pasar 10 meses para que se volvieran a encontrar; el encuentro tuvo lugar el 19 de septiembre de 2008, cuando ella viajó a Miami, ciudad donde él residía, para reunirse en el bote del que el músico era acreedor. “Me dijo que vendría a verme en cuanto se librara de Raquel, me dijo que Raquel no se separaba de él y que no lo dejaba solo ni un momento; salimos a altamar y Alejandro me pidió que me escondiera, que tuviera cuidado porque podía haber paparazzis y su móvil no paraba de sonar, Raquel le estaba mandando mensajes, le pregunté si creía que ella sospechaba algo y me contestó que le daba igual que, si lo sabía, no le importaba”.
Luego de su primer encuentro, los sentimientos entre los dos se intensificaron y Marín tomó la decisión de dejar Las Vegas para mudarse a Miami y estar más cerca de Sanz, pese a que, pasaran casi meses entre uno y otro encuentro. “Me dijo que me quería, que era especial para él, fue inevitable, me enamoré perdidamente de Alejandro Sanz, le

mano izquierda. Es preocupante”, apuntó. Aunque todavía es capaz de caminar, teme no poder hacerlo en un futuro cercano.
pedí prudencia porque corría el riesgo de enamorarme de él, Aleandro lejos de amilanarse, me dijo: énamórate de mí, por favor, porque yo ya lo estoy de ti´, un año después de conocerle, puse en venta mi casa y mi estudio de yoga en Las Vegas y me mudé a un departamento de alquiler en Miami”.
En esa época, tras dejar su vida profesional en EU, Marta atrevesó muchos problemas económicos, pero evitó contarle al cantante la situación que enfrentaba, por temor a que pensase que estaba cerca de él por interés. Pero, cuando Marín se mudó a Miami, nada cambió, el español le decía que no podía verla, debido a que no sabía cómo salir de casa sin que Raquel sospechase, por lo que, cansada de la situación le envió un correo dándole los motivos que tenía para no seguir con él.
“Estaba harta de sus promesas y rompí con él por email”.
Sin embargo, la insistencia del cantante la hizo ceder de nuevo y siguieron juntos, a partir de ahí, los encuentros que sostenían tenían lugar en el departamento de un amigo del cantante, Nacho Vega, quien se retiraba de su domicilio cuando Sanz iba a su encuentro.
El actor recordó que antes de ser diagnosticado notó una pérdida de sensibilidad, pero no le dio especial importancia, pensando que tal vez había usado demasiado el teléfono móvil y que su mano estaba cansada.
“Unas semanas después noté que había empeorado un poco. Así que fui a ver a un especialista en manos, quien me envió a otro especialista. Fui a ver a un neurólogo, quien me envió a
otro y me dijo: “Esto está muy por encima de mi nivel profesional”, añadió.
Al cabo de nueve meses le comunicaron que padecía ELA: “Nunca me olvidaré de esas tres letras”, recalcó el actor, que está casado y es padre de dos adolescentes de 15 y 13 años.
La ELA es una enfermedad neurodegenerativa progresiva que afecta a las neuronas motoras, es decir, las células nerviosas encargadas de controlar los músculos voluntarios, como caminar, hablar, tragar o incluso respirar.
AGENCIAS ESTO
Después de seis temporadas defendiendo la camiseta de los Tigres, Diego Reyes se despidió de la institución. Por medio de un video compartido en sus redes sociales, el defensa central confirmó la noticia que solo era un rumor hace unas cuantas semanas.
El futbolista de 32 años terminó su contrato con los felinos este verano y aunque existía la opción de renovar por un año más, ambas partes acordaron no ejercer la cláusula.
“Hoy me toca despedirme de este gran club que me recibió con los brazos abiertos desde el primer día.
Tal y como lo dije el día de mi presentación hace casi 6 años, la grandeza de Tigres y de su afición está a la altura de los mejores equipos del mundo. Hoy toca tomar caminos distintos, pero eso no borra los increíbles momentos que pasamos juntos”, expresó el zaguero central a través de su cuenta de Instagram.
F1
AGENCIAS
En la misma descripción, Reyes rememoró todo y cada uno de los logros que tuvo con los de la sultana del norte, desde un título de Liga hasta algunas hazañas a nivel internacional como una Copa de Campeones de la Concacaf y una destacada participación en el Mundial de Clubes del 2021.
“El campeonato de Concacaf, el 8avo título de Liga que nos tocó sufrirlo hasta el último minuto. El segundo lugar en el Mundial de Clubes, obviamente Campeones Cup y el Campeón de Campeones que ganamos, los recordaré con mucho cariño durante toda la vida”, agregó.
Diego Reyes arribó en el 2019 con los Tigres

El canterano del América arribó a Nuevo León en el año 2019, después de su paso por varios equipos de Europa. Antes de ser repatriado, jugó en equipos como el Porto de Portugal, la Real Sociedad, Espanyol en la liga de España, además de pasar por el Fenerbahce de Turquía. Su último club en el Viejo Continente fue el Leganes, desde donde fue fichado por los Tigres.
La Federación Internacional del Automóvil (FIA), aprobó los planes de obras para el Circuito de Kyalami de Sudáfrica con la categoría de Grado 1, con lo que ya es probable que en los próximos años pueda volver a cele-
Ahora, el futuro de Diego Reyes es incierto. Pues, aunque existe un interés por parte de los Pumas para hacerse con sus ser-
brar un Gran Premio de la Fórmula 1 después de más de 30 años.
Las remodelaciones planeadas comenzarán a la brevedad, y si bien no realizarán cambios en el trazado, sí se implementarán mejoras en el drenaje, zonas de escapatoria, vallas de protección, bordillos, y sistemas de barreras para la seguridad de todos los asistentes.
“Este es un momento crucial para el automovilismo sudafricano. Cuando compramos Kyalami en 2014, nuestra ambición era restau-

vicios, aún no hay una oferta o acercamiento formal por parte del club universitario hacia el entorno del jugador mexicano. En caso de que el equipo auriazul desee incluir a Reyes en su plantilla para el Apertura 2025 lo harían por un costo muy bajo, ya que llegaría como agente libre y solo habría que cubrir la cuota de traspaso, la cual será muy accesible.
rarlo como una sede de renombre mundial, pero también como un icono del automovilismo para todo el continente africano. La aceptación de nuestro diseño de Grado 1 por parte de la FIA es un hito importante en esta aventura “, declaró en conferencia de prensa el propietario del circuito, Toby Venter.
¿Cuánto tiempo tienen para construir el Circuito de Kyalami en Sudáfrica?
La FIA dio un plazo de tres años a los dueños de Kyalami para concluir las obras y poder ser considerado para albergar una carrera de Fórmula 1. Por lo tanto, no será hasta después del 2028 que Sudáfrica pueda regresar al calendario de los Grandes Premios.
A principios de año, el Departamento de Deporte, Arte y Cultura de Sudáfrica abrió la convocatoria para las sedes que buscaban tener un Gran Premio de la F1. Además de Kylami, también se encuentra en la competencia un circuito urbano en la Ciudad del Cabo. Sudáfrica albergó a la F1 de manera puntuable en 1962, 1963, 1965, 1967-1980, 1982- 1985 y 1992 a 1993. En la edición de 1967 el mexicano Pedro Rodríguez conquistó la carrera.
AGENCIAS ESTO
Dos de los deportistas más emblemáticos, Lionel Messi y Patrick Mahomes, se “enfrentaron” como los protagonistas de la nueva campaña de ADIDAS: “You Got This”, o “Lo tienes” en español. El mensaje es de siempre acoplarse a las complicaciones y salir adelante en los retos.
¿Cómo participaron Lionel Messi y Patrick Mahomes en un comercial de Adidas? En el cortometraje publicado por la marca de ropa deportiva, se puede ver a Antonela Roccuzzo y Brittany Mahomes, esposas de Lionel Messi y Patrick Mahomes, respectivamente, mientras realizan algunos ejercicios. El argentino y el estadounidense se encuentran en las caminadoras, cuando el del Inter de Miami aumenta la velocidad del tres veces campeón del Super Bowl. Al percatarse, Mahomes responde con la misma acción y ambos elevan sus respectivas velocidades como un reto. Al final, aparece el eslogan de la campaña y menciona que “todos necesi-
tamos a alguien que nos haga creer”.
“Cada vez que estoy en el campo, ya sea para mi club o mi país, siento una profunda responsabilidad de dar lo mejor de mí. Patrick y yo venimos de dos mundos diferentes del fútbol, pero la pasión es la misma. Saber que la gente de todo el mundo nos está mirando y cree en nosotros impulsa todo lo que hacemos. El apoyo de los fans de todo el mundo es más que palabras, y esperamos que inspire a todos a animarse unos a otros”, señaló Lionel Messi.
Asimismo, el quarterback de los Kansas City Chiefs dijo que “fue un honor formar equipo con Leo en esta campaña”, además de entender a la perfección el mensaje del comercial.
“En los deportes, el trabajo nunca se detiene, y es lo mismo con cualquier cosa que te importe, pero nadie llega allí solo. Necesitas personas que crean en ti, que te empujen a ser mejor. Es un recordatorio de que cuando nos respaldamos unos a otros, llegamos más lejos de lo que podríamos solos”, sentenció.
Para evitar “severos” daños a la industria ganadera, la secretaria de Agricultura de Estados Unidos, Brooke Rollins, anunció este miércoles un plan nacional de cinco puntos, que contempla una estrecha colaboración de las autoridades mexicanas, con la finalidad de erradicar al gusano barrenador, ante su expansión en México.
La estrategia establece la detención del gusano y garantizar que ambos países sean socios para su erradicación, proteger la frontera de Estados Unidos a toda costa, maximizar la preparación de Estados Unidos, combatir al gusano barrenador con moscas estériles y continuar con la innovación.
Detalla que en las recientes dos semanas el Departamento de Agricultura (USDA, por sus siglas en inglés) ha auditado y monitorea de manera continua los controles de sanidad animal en México, lo que permite verificar de primera mano los desafíos y oportunidades para combatir al gusano.
Entre las acciones, se contempla la producción de 160 mil moscas
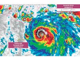
HURACÁN
ERICK
Semar activa
Plan Marina en fase Prevención
AGENCIAS
CIUDAD DE MÉXICO
La Secretaría de Marina-Armada de México (Semar), informó que debido a las condiciones meteorológicas asociadas al paso del huracán Erick mismo que se encuentra actualmente en categoría
estériles con la reciente inversión de 21 millones de dólares en la renovación de la planta de producción en Metapa, Chiapas, y aquellas desarrolladas en Panamá, y la construcción de una instalación de dispersión moscas en la Base Aérea Moore, en Texas, con capacidad de esparcirlas en el norte de México.
Además, interceptarán y tratarán al ganado callejero e introducido ilegalmente, crear una “zona de barrera de vigilancia” entre ambos países, garantizar el abasto del tratamiento médico contra las infestaciones, posibles inversiones de nuevas tecnologías y estudios científicos -incluido el avance de diseño de una planta de producción de moscas en la nueva instalación de Moore-, y la innovación de la tecnología.
“Estados Unidos ya ha derrotado al gusano barrenador y lo volveremos a hacer. No tomamos a la ligera la amenaza que el gusano barrenador representa para nuestra industria ganadera, nuestra economía y nuestra cadena de suministro de alimentos”, expresó Rollins durante la inauguración de la instalación de dispersión en la Base Aérea Moore.

Agregó que “el gobierno de Estados Unidos utilizará todos los recursos a su disposición para contrarrestar el gusano, y el anuncio de hoy de una estrategia nacional para reforzar nuestras defensas fronterizas es sólo el comienzo. Contamos con las herramientas probadas, sólidas alianzas nacionales e internacionales, y la determinación
3, activó el Plan Marina en su fase de Prevención en el estado de Veracruz al igual que los estados de Colima, Tabasco y Campeche.
La Fase de Auxilio consiste en minimizar el impacto de los desastres en la población, así como proteger vidas y bienes, facilitar la recuperación de las zonas afectadas, así como la protección civil y seguridad ciudadana.
Por esa razón, la institución naval desplazó una Brigada de Respuesta ante Emergencias (BRE) de la Ciudad de México al estado de Oaxaca, con el fin de auxiliar a la población civil en caso de ser requerido, por el posible impacto en costas mexicanas.
La BRE está conformada por cien elementos navales, quienes se suman al personal de la Vigésima Zona Naval con

necesaria para ganar esta batalla”.
A su vez, Julio Berdegué, secretario de Agricultura y Desarrollo Rural de México, calificó el plan como “un paso positivo que, en distintos aspectos, fortalecerá el trabajo conjunto México-Estados Unidos”.
Desde su cuenta de X, señaló que con base en los resultados
sede en Huatulco, Oaxaca, “con el fin de brindar una respuesta oportuna y efectiva en la aplicación del Plan Marina”. Estas brigadas están capacitadas y equipadas para brindar auxilio a la población civil ante situaciones de emergencia o desastres, realizando un análisis de riesgo, conformación y administración de refugios temporales, brindar apoyo médico, liberación de vías de comunicación, entre otras acciones, señaló la Semar.
El huracán Erick ya es categoría 3 y se localiza a aproximadamente a 88 kilómetros de Puerto Ángel, Oaxaca y a 400 kilómetros de Acapulco, Guerrero. Se espera que su trayectoria de impacto sea en inmediaciones de Puerto Escondido, Oaxaca y Punta Maldonado Guerrero, en inmediaciones de Laguna Chacahua, Oaxaca, entre las 04:00 y 06:00 horas de este jueves como huracán categoría tres. Con la finalidad de “salvaguardar la vida humana en la mar y la seguridad en las vías navegables, se informa que en Oaxaca los puertos de Salina Cruz, Puerto Escondido, Puerto Ángel y Huatulco se encuentran cerrados a la navegación de todo tipo de embarcaciones; en Guerrero los puertos de Acapulco y Puerto Márquez se encuentran cerrados a embarcaciones menores”. Asimismo, la Primera Región Naval con sede en Veracruz, se encuentra lista con 993 elementos, 315 efectivos en la Brigada de Respuesta a Emergencias, 69 vehículos, nueve buques, 18 embarcaciones, seis aeronaves, dos cocinas móviles y dos plantas generadoras eléctricas.
objetivos que se tienen contra el gusano, junto con los informes de la misión de USDA de esta semana, se pueda reanudar las exportaciones de ganado de pie mexicano a la mayor brevedad, cuyo comerció está suspendido por segunda ocasión desde el pasado 11 de mayo ante la expansión de la plaga en territorio mexicano.
AGENCIAS
NUEVO LAREDO
Un contingente de aproximadamente 250 vehículos con connacionales ingresó a México por Nuevo Laredo como parte de la Caravana “Migrantes Unidos”, en el arranque del operativo Paisano Verano 2025, informó el Instituto Nacional de Migración (INM).
Seguismundo Doguin, delegado del INM en Tamaulipas, destacó que esta movilización es una de las más significativas del año, y que junto con autoridades estatales y municipales se trabaja para agilizar trámites y reforzar la seguridad en la ruta hacia el centro del país.
“El objetivo es que el cruce fronterizo sea rápido, seguro y ordenado. Contamos con el respaldo del gobierno para garantizar la integridad de nuestros paisanos”, señaló el funcionario. La mayoría
de los viajeros tiene como destino los estados de Guanajuato y Querétaro, particularmente la Sierra Gorda.
El operativo estará vigente del 1 de julio al 3 de agosto, periodo en el que se estima el ingreso de más de 74 mil connacionales por esta frontera, consolidando a Nuevo Laredo como principal punto de retorno desde Estados Unidos.
Durante su trayecto por Tamaulipas, la caravana fue escoltada por la Guardia Estatal de Apoyo Carretero, Guardia Nacional, Protección Civil, y corporaciones de seguridad del estado de Querétaro, en un esfuerzo conjunto para garantizar un viaje seguro hasta su destino final.


CIUDAD DE MÉXICO
México ha cumplido las exigencias del gobierno de Estados Unidos en materia del tráfico de fentanilo y otros temas, razón por la cual ahora la prioridad es buscar certeza, es decir, que EU garantice que no habrá nuevos aranceles hasta que no se dé la revisión del T-MEC, dijo Marcelo Ebrard, titular de la Secretaría de Economía.
“Hemos hecho un esfuerzo enorme. México ha cumplido y ahora el tema es que tengamos certidumbre de aquí a la revisión del tratado. Certidumbre en tarifas y en todos los temas comerciales que ya conocen”, apuntó luego de firmar un con-
venio para impulsar y renovar a la industria minera en México.
Ebrard informó que el próximo 24 de junio viajará a Arizona, Estados Unidos, acompañado de representantes de todo el país, para tratar el tema de semiconductores. “Ahí es el epicentro de esta industria y tendremos una reunión muy importante”.
Retoman diálogo con industria minera
Por otro lado, tras un sexenio completo sin reuniones, este miércoles el gobierno mexicano y representantes de la industria minera firmaron un convenio con el que se busca impulsar la industria y llevarla a una nueva era basada en la sustentabilidad, bienestar de comunidades y cuidado en el estrés hídrico del país.

AGENCIAS
TEPIC
El acuerdo, llamado “Comité Educativo de Minería México 2025”, firmado en las instalaciones de la Secretaría de Economía, por el propio Marcelo Ebrard, representantes de la industria minera mexicana y los gobernadores de Sonora y Zacatecas, busca transformar a la minería de actividad primaria a ejemplar.
“La realidad nos impone una nueva visión. Estamos en una nueva etapa en la economía mundial, con muchas rivalidades geopolíticas que no existían antes. Hay una rivalidad geopolítica mayor, presente en todo y aumentará más. Ante esto, fortalecer nuestra industria de minerales es clave”, apuntó Ebrard.
La Ceremonia de Inauguración de la Coordinación Estatal Nayarit, 39 Batallón de la Guardia Nacional (GN) y 412 Compañía, en la zona de La Cantera, en Tepic, se llevó a cabo este miércoles.
AGENCIAS HERMOSILLO
Sonora continúa bajo el dominio de una intensa ola de calor que mantiene en alerta a autoridades y población. Para este miércoles, se espera que las temperaturas superen 45 grados centígrados en distintas zonas del estado, producto de una persistente circulación anticiclónica que impide el ingreso de humedad y nubosidad.
La Coordinación Estatal de Protección Civil (CEPC), informó que este fenómeno, identificado en niveles medios de la atmósfera, genera condiciones de estabilidad atmosférica con cielos mayormente despejados, lo que se traduce en días extremadamente calurosos sin posibilidad de lluvia. La información proviene del Servicio Meteorológico Nacional y agencias de Estados Unidos, por ello, el llamado a la población a evitar actividades al aire libre.
De acuerdo con Gilberto Lagarda Vázquez, meteorólogo de la Comisión Nacional del Agua, estas condiciones se intensificarán durante las próximas horas. “Se mantiene fuerte la influencia anticiclónica en gran parte del estado, con una posibilidad muy baja de llovizna en la Sierra Sur, apenas del 10 por ciento. Las temperaturas seguirán aumentando por encima de los 45 grados, sobre todo en el centro, sur y noroeste del estado. Se prevé que el viernes comiencen a descender”, detalló para La Jornada.
Ante este panorama, la Coordinación Estatal de Protección Civil exhortó a la población a extremar precauciones, a reprogramar actividades al exterior y evitar exponerse al aire libre en horas críticas especialmente entre las 11:00 y las 16:00 horas, periodo en que el sol alcanza su mayor intensidad. Las recomendaciones incluyen mantenerse hidratado, y no dejar personas ni mascotas dentro de vehículos estacionados.
Las autoridades reiteran que estas condiciones podrían prolongarse hasta el viernes, cuando se espera una ligera disminución en las temperaturas. Mientras tanto, Sonora permanece bajo un intenso calor que exige medidas de prevención y atención comunitaria.

Al acto, encabezado por el gobernador Miguel Angel Navarro Quintero y el general Hernán Cortés Hernández, acudió también Eugenio Leonardo López Arellanes, coordinador Territorial de la Región Occidente Nayarit, Jalisco, Colima y Michoacán, quien durante intervención señaló que este nuevo cuartel se integra a los más de 500 que hay en todo el país.
Agregó que Nayarit contará con una Coordinación Estatal, un Batallón de Guardia Nacional, una Estación de Seguridad a vías de comunicación y cuatro compañías de GN que estarán listas para colaborar con fuerzas de seguridad del estado.
“Cuyo objetivo es refrendar nuestra presencia en esta entidad federativa, clave por su ubicación geográfica, cultura, desarrollo turístico y riqueza natural. La edificación de estas instalaciones es el reflejo, del compromiso firme y permanente del estado mexicano con la seguridad, la paz y el bienestar de los ciudadanos”, precisó. Por su parte, el mandatario dijo que Nayarit tiene su compromiso permanente de trabajar al lado de las fuerzas federales y así, mantener una región tranquila para que los ciudadanos desarrollen sus actividades en forma segura y en paz.
AGENCIAS
NUEVA YORK
Las calles de Teherán están vacías, los negocios cerrados y las comunicaciones son intermitentes en el mejor de los casos. Sin refugios antiaéreos auténticos y abiertos al público, las masas aterradas pasan noches sin descanso en el suelo de las estaciones del metro mientras los bombardeos retumban sobre sus cabezas.
Esta es la capital de Irán, a poco menos de una semana del feroz bombardeo israelí que tiene como objetivo destruir el programa nuclear y la capacidad militar del país. Tras dejar fuera de combate a gran parte del sistema de defensa aérea iraní, Israel dice que sus aviones de guerra tienen vía libre sobre los cielos de la ciudad. El presidente de Estados Unidos, Donald Trump, instó el lunes a los aproximadamente 10 millones de habitantes de Teherán a evacuar “inmediatamente”. Miles de personas han huido y pasan horas varadas en el tráfico mientras tratan de dirigirse a los suburbios, el mar Caspio o incluso a Armenia o Turquía. Pero otros —los ancianos y enfermos— están atrapados en altos edificios de apartamentos. Sus familiares se preocupan: ¿qué hacer?
Los ataques israelíes contra Irán han provocado la muerte de al menos 585 personas y han herido a más de mil 300, según una organización de derechos humanos. Los medios locales, también blanco de los bombardeos, ya no reportan sobre los ataques, lo cual ha dejado a los iraníes sin información. Hay pocas señales visibles de la autoridad estatal: la policía parece estar mayoritariamente encubierta, las sirenas antiaéreas no son

de fiar y hay poca información sobre qué hacer en caso de ataque.
Shirin, de 49 años, quien vive en el sur de Teherán, dijo que ha sentido como si cada llamada o mensaje de texto a amigos y familiares en los días recientes pudiera ser la última.
“No sabemos si mañana estaremos vivos”, puntualizó.
Muchos iraníes tienen un conflicto interno: algunos apoyan los ataques de Israel contra funcionarios políticos y oficiales militares iraníes a quienes consideran represivos; otros defienden firmemente a la República Islámica y los ataques de represalia contra Israel. Y están quienes se oponen a los gobernantes de Irán, pero no quieren ver su país bombardeado.
The Associated Press entrevistó por teléfono a cinco personas en Irán y a un iraní-estadunidense en Estados Unidos.
Todos hablaron bajo condición de anonimato o permitieron que se revelara solo su nombre de pila por temor a represalias del Estado contra ellos o sus familias.
La mayoría de las llamadas terminaron abruptamente y en cuestión de minutos —conversaciones interrumpidas a medida que la gente se ponía nerviosa o porque se perdía la conexión—. El gobierno iraní ha reconocido haber suspendido el acceso a internet. Dice que es para proteger al país, y eso impide que los iraníes comunes obtengan información del mundo exterior.
Los iraníes en la diáspora esperan con ansias noticias de sus familiares. Un investigador de derechos humanos iraní-estadounidense quien vive en Estados Unidos refirió que la última vez que tuvo noticias de sus familiares fue cuando algunos intentaban dejar Teherán a principios de la semana. Cree que la falta de gasolina y el tráfico les impidió irse.
La interacción más desgarradora, manifestó, fue cuando sus primos mayores —con quienes creció en Irán— le dijeron: “No sabemos a dónde ir. Si morimos, morimos”.
“Su única sensación era la desesperanza”, añadió.
Algunas familias han tomado la decisión de separarse.
Un refugiado afgano de 23 años que ha vivido durante cuatro años en Irán expuso que él se quedó en Teherán, pero envió a su esposa y a su hijo recién nacido fuera de la ciudad después de que un ataque el lunes dañara una farmacia cercana.
“Fue un choque muy duro para ellos”, agregó.
Algunos, como Shirin, dijeron que huir no era opción. Los edificios de apartamentos en Teherán son altos y densos. Su padre

tiene Alzheimer y necesita una ambulancia para trasladarse. La artritis severa de su madre haría que incluso un viaje corto fuera extremadamente doloroso.
Aun así, con la esperanza de que escapar fuera posible, intentó reunir en los últimos días sus medicamentos. Su hermano esperó en una gasolinera hasta las 3 de la mañana, pero le dijeron que se fuera cuando se acabó el combustible. Desde el lunes, la gasolina está racionada a menos de 20 litros (5 galones) por conductor en las gasolineras de todo Irán, luego de que un ataque israelí provocara un incendio en el yacimiento de gas más grande del mundo.
Algunas personas, como Arshia, dijeron que simplemente están cansadas.
“No quiero pasar 40, 30 o 20 horas en el tráfico, solo para llegar a algún lugar que podría ser bombardeado”, dijo.
El joven de 22 años se ha quedado en casa con sus padres desde el primer ataque israelí. Reportó que su otrora animado barrio de Saadat Abad, en el noroeste de Teherán, es ahora un pueblo fantasma: las escuelas están cerradas; muy pocas personas salen, incluso para pasear a sus perros; la mayoría de las tiendas locales se han quedado sin agua potable y aceite de cocina y otras han cerrado.
No obstante, Arshia dijo que la perspectiva de encontrar un nuevo hogar es demasiado abrumadora.
“No tenemos los recursos para irnos en este momento”, dijo.
Ninguna sirena antiaérea sonó cuando los ataques israelíes comenzaron a azotar Teherán antes del amanecer del viernes. Para muchos, fue una señal temprana de que los civiles tendrían que arreglárselas solos.
AGENCIAS
MOSCÚ
Corea del Norte enviará 5000 trabajadores de la construcción militar y 1000 zapadores al óblast de Kursk, donde Moscú está reparando los daños generalizados provocados por una incursión ucrania, según un alto funcionario del Kremlin. El asesor de seguridad presidencial Serguéi Shoigú declaró que los trabajadores ayudarían a reconstruir la estratégica región fronteriza, invadida por el ejército ucranio el pasado agosto y recuperada por las fuerzas rusas a principios de este año.
El envío de los trabajadores fue tema de discusión en la reunión de Shoigú con el líder de Corea del Norte Kim Jong-un, informó el miércoles la agencia de noticias estatal KCNA.
El encuentro entre el líder norcoreano y Shoigú, secretario del Consejo de Seguridad ruso y estrecho colaborador del presidente Vladímir Putin, tuvo lugar el martes en Pyongyang, donde ambos conversaron sobre una “operación militar especial” en la región de Kursk. Es la segunda reunión del ex ministro de Defensa ruso con el mandatario en menos de tres meses.
También trataron los planes de

cooperación mutua para la reconstrucción de la región de Kursk por parte de Moscú, aseguró KCNA. Además, hablaron de conmemorar las “hazañas heroicas” de las tropas norcoreanas que lucharon junto a los rusos en Kursk.
En abril, Putin felicitó a su ejército luego de que Rusia afirmara haber expulsado a todas las tropas ucranianas de Kursk con la ayuda de soldados norcoreanos. Kiev ha negado haber perdido territorio en Kursk. Sus comentarios tuvieron lugar
poco después de que Corea del Norte admitiera que había enviado tropas a combatir por Rusia en la guerra contra Ucrania.
KCNA informó que el partido gobernante de Corea del Norte habría declarado que su contribución en Kursk fue una muestra del “más alto nivel estratégico de la férrea amistad militante” con Rusia. La reciente decisión de Corea del Norte de enviar trabajadores a Rusia fue criticada por Corea del Sur, cuyo Ministerio de Asuntos Exteriores afirmó el miércoles que esta medida supondría una clara violación de las sanciones de la ONU. El ministerio instó a Pyongyang a poner fin de inmediato a este tipo de cooperaciones con Rusia.
Por su parte, el presidente surcoreano, Lee Jae-myung, y el primer ministro japonés, Shigeru Ishiba, acordaron continuar su cooperación en lo que respecta a Corea del
Norte durante su encuentro en la cumbre del G7 en Canadá, informaron sus respectivas oficinas.
Según agentes de inteligencia estadunidenses, surcoreanos y ucranios, Corea del Norte envió más de 10 mil soldados a Rusia el pasado otoño, en su primera participación en un conflicto armado importante desde la Guerra de Corea entre 1950 y 1953.
Más de 6 mil de ellos murieron o resultaron heridos en combate en Kursk, señaló el domingo el Ministerio de Defensa británico en un balance.
“Es muy probable que las fuerzas de la República Popular Democrática de Corea hayan sufrido más de 6 mil bajas en las operaciones ofensivas de combate contra las fuerzas ucranis en el óblast ruso de Kursk”, declaró el ministerio, utilizando el nombre oficial de Corea del Norte.

Fortalecimiento de empresas impulsará el desarrollo económico del municipio
»AGENCIAS
TUXPAN.- La Secretaría de Desarrollo Económico y Portuario del Estado de Veracruz (SEDECOP), en coordinación con el Instituto Tecnológico de Estudios Superiores de Monterrey (ITESM) llevaron a cabo el taller denominado “El Talento como Motor de Desarrollo Local y Regional” en Tuxpan. El evento reunió a empresarios, representantes de gobierno y académicos, quienes intercambiaron propuestas y estrategias efectivas que permitan otorgar mayores posibilidades de crecimiento y la generación de más oportunidades laborales para los jóvenes. Estuvieron presentes la Lic. Andrea Molina, en representación de la subsecretaría de Industria, Atracción de Inversiones, Comercio


Exterior y Proyectos Estratégicos de SEDECOP; el Lic. Juan Pablo Alcántar Alvarado, secretario técnico del Ayuntamiento de Tuxpan; la Mtra. Lidia Soni Gallardo, directora de Desarrollo Económico municipal. El Dr. Marco Antonio Fernández, profesor investigador de la Escuela de Gobierno y Transformación Pública del ITESM y coordinador de Educación en México Evalúa); el Ing. Raúl Alberto Paredes Hernández, director de la Administración del Sistema Portuario de Tuxpan; el Dr. Jesús Huerta Chua, director general del Instituto Tecnológico de Poza Rica. Juan Pablo Alcántar señaló que promover el desarrollo del talento
dentro de las empresas es una estrategia inteligente y ganadora; una inversión que, a mediano y largo plazo, creará competitividad.
Mencionó que el reto no solo es atraer talento, sino también desarrollarlo, potenciarlo y retenerlo, originando las condiciones para fortalecer el sentido de pertenencia en las empresas. “Es importante reconocer y motivar a aquellos jóvenes con una visión innovadora, con creatividad, liderazgo y compromiso”.
“Justo en esta ciudad, donde ciertos sectores han tratado de proponer iniciativas más allá de las que tenemos, esperamos que todos estos esfuerzos no sean solo para

Fuerzas de los tres órdenes de gobierno lo implementaron en Tuxpan
gobierno han desplegado el Operativo “Rastrillo Vehicular” en la zona urbana y rural del municipio de Tuxpan, como parte de una estrategia para fortalecer la seguridad. En estas acciones participan la Secretaría de Marina, Defensa, Guardia Nacional, Policía Estatal y Policía Municipal. El operativo tiene como propósito asegurar vehículos con reporte de robo, con VIN alterado, placas sobrepuestas y unidades que hayan sido usadas en hechos delictivos.
A lo largo de este miércoles se obtuvieron resultados positivos, mismos que en breve serán dados a conocer.
medir la fuerza laboral que tememos, sino para plantear un mapa de ruta para generar habilidades, y específicamente programas académicos y de certificación y educación continua, para poder atraer nuevas empresas”, agregó.
Alcántar Alvarado destacó que Tuxpan se prepara para albergar un Polo de Desarrollo Económico, gracias al respaldo de la presidenta Claudia Sheinbaum y de la gobernadora Rocío Nahle, por lo que se trabaja de la mano con la SEDECOP.
Por su parte, la Lic. Andrea Molina indicó: “Hoy Tuxpan está siendo visto no solo a nivel estatal sino a nivel nacional como Polo de Desarrollo Económico para el
Protección Civil recomienda tomar precauciones porque las lluvias habrán de continuar
AGENCIAS
TUXPAN
El Gobierno de Tuxpan se encuentra en “Alerta Gris”, en Fase de Organización, y exhorta a la población a tomar precauciones debido que continuarán las fuertes lluvias en los siguientes días.
Bienestar. Tuxpan lo tiene todo, es un puerto de altura, tiene conectividad a todos los puntos dentro del país”.
Agradeció al gobierno de Tuxpan y al Tecnológico de Monterrey por sumarse a esta importante iniciativa. Invitó a los asistentes a exponer sus ideas y propuestas, ya que –dijo- el factor para impulsar este desarrollo económico que fortalecerá a Tuxpan va a depender del talento humano, de la mano de obra calificada.
El taller incluyó mesas de trabajo en las que se abordaron temas clave para el desarrollo del talento en la región.
El Temporal Lluvioso es provocado por fuerte flujo de humedad de ambos océanos, por vaguadas ubicadas en el país y en regiones del Golfo de México, y las amplias bandas nubosas por el acercamiento del huracán “Erick” en el Pacífico.
Es importante que la ciudadanía esté muy atenta, por probabilidad alta de ocurrencia de: deslaves, derrumbes y deslizamientos; encharcamientos e inundaciones pluviales; destechamientos, caída de árboles u otros objetos; obstrucción de la visibilidad al conducir.
En caso de que alguna persona o familia requiera ayuda, puede llamar a los teléfonos de Protección Civil 783 83 50127, Bomberos 783 83 40646 y Emergencias 911.


AGENCIAS
POZA RICA
Camioneta Tiguan Volkswagen que era conducida por una dama, terminó incrustada en un poste de concreto perteneciente a comisión federal de electricidad, luego de que fuera impactada por otra camioneta y esto ocasionará que perdiera el control del volante.
La conductora de esta camioneta Volkswagen circulaba sobre la avenida Benito Juárez y al incorporarse a la calle 16 de septiembre, el conductor de una camioneta Mitsubishi color gris que salía de la calle Francisco Márquez, al no respetar el señalamiento de alto terminó impactando a la unidad antes mencionada en la parte lateral, causando cuantiosos daños materiales.
Tras la colisión, la camioneta blanca terminó estampándose en un poste de CFE, una vez que su tripulante perdiera el control del volante, mientras que la unidad Mitsubishi tras la inercia alcanzó a impactar otro coche que estaba estacionado, un vehículo Nissan Sentra modelo atrasado color rojo en el cual los daños materiales fueron mínimos.
Afortunadamente ninguno de los conductores involucrados resultó con lesiones de gravedad, únicamente golpes contusos y crisis nerviosa en la conductora de la camioneta Tiguan, la cual fue valorada por paramédicos de salud Municipal quienes brindaron los primeros auxilios, pero afortunadamente lograron estabilizar su salud y no hubo necesidad de traslado alguno.
Elementos de tránsito del estado acudieron a realizar las diligencias correspondientes para dialogar con los seguros y proceder con la garantía del pago de los daños por parte de quien resultara responsable.

Mexicana.


AGENCIAS
Un cortador de cítricos que se quejaba de un fuerte dolor abdominal, en la báscula de San Manuel, provocó una movilización policiaca.
Y es que, a través de las redes sociales, alarmaron a la población de que una persona se encontraba baleada en dicha báscula.
Esto provocó la movilización de las diferentes corporaciones policiacas, así como también de una ambulancia de la Cruz Roja
El varón que efectivamente se encontraba tirado en una banca en el interior de la báscula San Manuel, se quejaba de un fuerte dolor abdominal y esperaba la presencia de la ambulancia de Cruz Roja Mexicana para recibir atención médica prehospitalaria y posiblemente traslado a un nosocomio.

ENRIQUE BURGOS
Tres trabajadores del área de perforación petrolera de Pemex, originarios de Reynosa, Tamaulipas; fueron víctimas de un presunto secuestro virtual en Las Choapas, entregando 200 mil pesos.
Los empleados estaban comisionados a labores en el pozo “OME” ubicado en un rancho sobre la carretera Las Choapas- Cerro de Nanchital y llevaban aproximadamente 30 días en el hotel Nicte-ha
del Barrio Las Flores.
De acuerdo con la información los petroleros salieron durante la madrugada de este miércoles del lugar, en pijamas, sandalias e incluso no utilizaron la camioneta a su cargo para moverse del sitio.
Ya para el mediodía se desconocía su paradero, luego de que otros obreros se dieron cuenta que no se presentaron a laborar.
Posterior a esto se hizo el reporte a las autoridades y se aplicó un operativo para dar con su paradero, localizándolos en el hotel Las

Flores, ubicado a unos metros del otro hotel.
Se informó que las víctimas no presentarán denuncia formal ante la Fiscalía General del Estado (FGE) y trascendió que habrían entregado 200 mil pesos a los delincuentes.
En 2024 se registró un caso similar, en aquella ocasión ocho empleados del Instituto Mexicano del Petróleo fueron víctimas de un secuestro virtual, y los delincuentes lograron despojarlos de al menos 300 mil pesos.



Un vergonzoso episodio de incompetencia se vivió el martes en la Ciudad Judicial de Misantla, donde un reo procesado por violación logró escapar minutos antes de su audiencia, dejando en evidencia graves fallas de seguridad y un rotundo fracaso en el operativo de custodia.
El prófugo, identificado como Jair
Josué C. S., de 29 años, originario de la localidad Kilómetro 9, presuntamente no estaba esposado, lo que facilitó su fuga a plena luz del día ante la mirada pasiva de los custodios.
Según testigos, el individuo simplemente echó a correr y saltó una la barda perimetral, perdiéndose entre los matorrales sin que ninguno de los agentes asignados pudiera reaccionar con eficacia.
La escena ha generado indignación en

AGENCIAS COATZACOALCOS
En un amplio operativo interinstitucional, autoridades federales aseguraron y desmantelaron una refinería clandestina localizada en las inmediaciones de la zona industrial de Coatzacoalcos, Veracruz, donde se producían combustibles de manera ilegal, representando un serio riesgo para el medio ambiente y la seguridad pública. El secretario de Seguridad y Protección Ciudadana, Omar García Harfuch, confirmó que en el lugar se logró la recuperación de más de 500 mil litros de petróleo crudo, además del aseguramiento de infraestructura utilizada para la elaboración de productos como diésel
la ciudadanía, pues la fuga del imputado impide momentáneamente que se haga justicia en un caso de alta sensibilidad social.
Autoridades desplegaron un operativo con participación de fuerzas municipales, estatales, Guardia Nacional y SEDENA, pero hasta el cierre de esta edición, la búsqueda no ha tenido resultados positivos.
Las críticas hacia el sistema de custodia judicial no se han hecho esperar, al

artesanal, nafta ligera, aceites tratados y combustóleo ligero.
Según detalló el funcionario a través de redes sociales, el hallazgo fue resultado de trabajos de inteligencia de campo y sobrevuelos de reconocimiento, que permitieron ubicar la operación ilícita que no contaba con permisos oficiales y operaba en condiciones precarias, poniendo en riesgo los ecosistemas locales. La operación fue ejecutada por efectivos de la SEDENA, SEMAR, Guardia Nacional, FGR y la SSPC, además de personal de Petróleos Mexicanos, quienes con una orden de cateo emitida por un juez federal ingresaron a la propiedad para llevar a cabo el aseguramiento.
Refinería operaba en zona rural cercana a Nuevo Teapa
El inmueble donde se realizaban estas actividades se localiza en un camino rural que conecta el ejido Nuevo Teapa con Agua Dulce,
entre los poblados 5 de Mayo y Manuel Almanza, a escasa distancia de la carretera Coatzacoalcos–Villahermosa. Fuentes cercanas al caso indicaron que el operativo inició la tarde del martes y concluyó el miércoles, con la desactivación total de las operaciones clandestinas. Hasta el momento no se ha confirmado si hubo personas detenidas, ni desde cuándo estaba en funcionamiento este centro de producción ilegal de hidrocarburos. La investigación continúa abierta y las autoridades federales han mantenido bajo reserva varios de los detalles del caso. La existencia de esta refinería clandestina representa un golpe significativo contra el mercado negro de combustibles, una de las actividades delictivas que más pérdidas económicas genera al Estado mexicano y que además representa un alto riesgo por el manejo irregular de sustancias peligrosas.
AGENCIAS
tiempo que se cuestiona la falta de protocolos básicos en el manejo de internos peligrosos.
Se confirmó que los custodios encargados de su traslado ya enfrentan un proceso de investigación y podrían ser detenidos por su presunta responsabilidad en esta evasión.
La población exige sanciones ejemplares y acciones contundentes para evitar que un hecho tan alarmante vuelva a repetirse.
MARTÍNEZ DE LA TORRE
Un sujeto semidesnudo desconocido se subió a la antena que se encuentra ubicada dentro de la Escuela de Bachilleres Martínez de la Torre, luego sin más se bajó y se retiró del lugar sin ser detenido por ninguna autoridad. Lo anterior ocurrió la mañana de este miércoles, en el citado plantel, ubicado frente al bule-

var Rafael Martínez de la Torre, donde el individuo decidió treparse a la antena de telefonía y posteriormente se bajó sin ningún contratiempo. Finalmente abandonó el plantel educativo y se retiró caminando con rumbo a la colonia Benito Juárez. Ninguna autoridad acudió hasta el lugar y el desconocido que se sentía un Spiderman, se retiró sin problema alguno.

La temporada de lluvias puede traer consigo una serie de desafíos para nuestro hogar. Desde problemas de humedad hasta posibles filtraciones, es importante estar preparado para mantener nuestra casa segura y confortable durante estos días. En este blog, compartiremos algunos consejos prácticos para cuidar tu hogar durante la época de lluvias. ¡Veámoslos!
Revisa el sistema de drenaje:
Antes de que comiencen las lluvias intensas, asegúrate de que tus canaletas y bajantes estén limpios y libres de obstrucciones. Limpia hojas, ramas u otros desechos que puedan bloquear el flujo del agua. También verifica que los desagües estén funcionando correctamente y que el agua se dirija lejos de los cimientos de tu casa para evitar problemas de humedad.
Repara filtraciones:
Revisa cuidadosamente los techos, ventanas y paredes en busca de posibles filtraciones. Si encuentras alguna mancha de humedad o goteras, es importante repararlas de inmediato. Utiliza selladores o productos impermeabilizantes para evitar que el agua penetre en tu hogar y cause daños mayores.
Mantén el sistema de alcantarillado en buen estado:
Asegúrate de que las tapas de las alcantarillas estén bien ajustadas para evitar que el agua de lluvia se filtre en ellas. Además, mantén limpias las rejillas de los desagües pluviales para evitar obstrucciones que puedan causar inundaciones en tu propiedad.
Protege tus muebles y electrodomésticos:


tes o sellos de silicona para asegurar un cierre hermético y prevenir filtraciones. Si es necesario, considera la instalación de persianas o toldos para proteger tus ventanas de la lluvia y reducir la entrada de agua.
Ventila adecuadamente:
Aunque quieras mantener tu hogar seco, es importante permitir la circulación de aire para evitar la acumulación de humedad. Abre las ventanas durante las horas de menor humedad y utiliza ventiladores para favorecer la evaporación. Esto ayudará a prevenir problemas de moho y malos olores.
Mantén limpias las áreas exteriores:
Si tienes muebles de madera en patios exteriores, aplícales un tratamiento impermeable o cúbrelos con fundas protectoras durante la temporada de lluvias. También es recomendable desconectar los electrodomésticos que no estés utilizando para evitar daños por posibles cortocircuitos durante tormentas eléctricas.
Asegura tus puertas y ventanas: Comprueba que las puertas y ventanas estén bien selladas para evitar que el agua entre a tu hogar. Utiliza burle-
Asegúrate de que las áreas exteriores estén libres de obstrucciones, como hojas caídas, ramas o escombros. Estos desechos pueden obstruir los desagües y contribuir a la formación de charcos de agua que pueden dañar tu jardín o afectar la estructura de tu casa. La temporada de lluvias puede presentar desafíos para nuestro hogar, pero con los consejos adecuados, podemos mantenerlo seguro y protegido. Al revisar y mantener el sistema de drenaje, reparar filtraciones, asegurar puertas y ventanas, proteger muebles y electrodomésticos, ventilar adecuadamente y mantener limpias las áreas exteriores, podemos prevenir problemas como filtraciones, humedad y daños por agua. Recuerda que la prevención y el mantenimiento regular son clave para mantener un hogar confortable y seguro durante la época de lluvias. ¡Aplica estos consejos y disfruta de un hogar acogedor incluso en los días más lluviosos!


A través de la historia ha predominado la idea de que los hombres deben ser fuertes, arriesgados, valientes, competitivos, proveedores económicos, que ejerzan poder y escondan sus emociones, además de que papá siempre debe ser “la autoridad” en casa.
REDACCIÓN CIUDAD DE MÉXICO
La paternidad en el siglo XXI y las nuevas masculinidades están impulsando un cambio en la forma en que los hombres se relacionan con sus hijos, pero también con su propia salud, tanto física como emocional, además de su apariencia.
“Los padres están más involucrados en todas las facetas de la crianza de sus hijos, desde la educación hasta tareas como vestirlos, algo que anteriormente no era tan común. Si bien las dinámicas laborales actuales, donde tanto hombres como mujeres trabajan, influyen en esto, hay muchos hombres que genuinamente quieren estar presentes en la crianza”, explicó Claudio Tzompantzi, académico de la Facultad de Psicología de la Universidad Nacional Autónoma de México.
Aunque las nuevas masculinidades proponen ideas como esa, lo cierto es que a través de la historia ha predominado la idea de que los hombres deben ser fuertes, arriesgados, valientes, competitivos, proveedores económicos, que ejerzan poder y escondan sus emociones, además de que papá siempre debe ser “la autoridad” en casa. Estas ideas arcaicas, provocan que los hombres descuiden aspectos importantes de sí
mismos. “Los roles estereotipados de género los llevan a rechazar todo aquello que sea socialmente considerado femenino, como el cuidado de la salud en general, lo que dificulta la búsqueda de ayuda y la adopción de estrategias de autocuidado”, advierte el Consejo Nacional de Población. Un estudio del Centro de Investigación en Alimentación y Desarrollo encontró que existe un perfil de hombres que rechazan la adecuada atención de su salud y alimentación, considerándolas solamente en casos en los que está en riesgo la vida.
“Tanto los hombres que deciden atender su salud y alimentación como los que deciden no hacerlo, coinciden en la misma motivación para la toma de decisiones, que está cimentada en el cumplimiento de los mandatos de la masculinidad, relacionados con el papel de proveedores y protectores, por encima de una conciencia real de su bienestar físico”, se indica.
Esto se ve reflejado en la esperanza de vida. De acuerdo con datos de la Organización Mundial de la Salud (OMS), los hombres tienen mayores probabilidades que las mujeres de morir antes de cumplir los 70 años, además de que alrededor de 52% de las muertes por enfermedades no transmisi-
Jueves 19 de Junio de 2025
Jueves 19 de Junio de 2025
PRIMERA SECCIÓN
Viernes 13 de Junio de 2025
bles a nivel global se producen en hombres. Otro dato revelador es que 36% de las muertes en hombres son evitables, contra el 19% en mujeres.
AUTOCUIDARSE POR LA FAMILIA
La idea de minimizar el autocuidado en los hombres prevalece en diferentes generaciones desafortunadamente, por lo que es importante empezar a señalar su importancia y ver en qué aspectos físicos, mentales y de apariencia hay que empezar a trabajar desde ya:
LOS BÁSICOS
A los hombres se les recomienda que, desde que entran a su etapa adulta, se realicen estudios de medicina preventiva –o check-ups– que abarquen puntos como el riesgo cardiovascular, enfermedades oncológicas e infecciosas, salud mental, etcétera. Estos son cuatro estudios básicos que recomienda Kabla, empresa dedicada a la venta de dispositivos de diagnóstico médico.
• Diabetes: Practicarse exámenes periódicos para detectar esta enfermedad ayuda también a prevenir accidentes cerebrovasculares y enfermedades cardiacas. En México, 22% de la población tiene diabetes; sin embargo, casi 20% de estas personas no cuentan con un diagnóstico. Además, el control de la glucosa en sangre también puede prevenir daños en riñones y ojos.
• Hipertensión arterial: Su medición precisa es fundamental para tener un diagnóstico efectivo y preventivo. En Latinoamérica, las enfermedades cardiovasculares son las responsables de un 30% de las muertes en la región, de acuerdo con alarmantes datos de la Organización Panamericana de la Salud.
• Colesterol: Los altos niveles de colesterol pueden aumentar el riesgo de enfermedades cardiacas. La prueba consiste en un análisis que mide la cantidad de ciertos lípidos en la sangre.
El hígado produce todo el colesterol que el cuerpo necesita, pero el consumo de ciertos alimentos, principalmente altos en grasas, pueden hacer que el hígado produzca más colesterol.
• Enfermedad Pulmonar Obstructiva Crónica (EPOC): El EPOC es un término que engloba a varias afecciones respiratorias crónicas; por ejemplo, la bronquitis crónica y el enfisema son las más comunes. La OMS señala que las muertes por EPOC en hombres duplican las de mujeres, por lo que es importante dirigir estrategias de prevención y educación hacia los hombres con el fin de reducir los factores de riesgo. Se recomienda que
las pruebas se apliquen a hombres con un antecedente de consumo de cigarro o que han abandonado el hábito en los últimos 15 años.
SÍ, LA PRÓSTATA
Un estudio que merece atención aparte es el de cáncer de próstata. A partir de los 45 años, los hombres tienen un mayor riesgo de desarrollar esa enfermedad, por lo que deben realizarse los exámenes para detectarlo de forma periódica.
De acuerdo con la Secretaría de Salud, en México se registran 11.3 decesos por cada 100 mil hombres debido a esta grave enfermedad, y, además, representa la primera causa de cáncer y mortalidad para este sector de la población.
José Athié Rubio, líder médico del área terapéutica de Hemato-Oncología en la farmacéutica Sanofi, indica que cuando se habla de cáncer de próstata en México, primero hay que enfrentarse a prejuicios y desinformación.
Este fenómeno provoca que 70% de los casos se detecten en etapas avanzadas, lo cual, a su vez, propicia que la atención se dé tardíamente.
“Los prejuicios también contribuyen significativamente al rechazo de varias opciones terapéuticas existentes que han demostrado ser efectivas, como es el caso de la quimioterapia”, detalla.
El examen más adecuado para detectar esta enfermedad es la exploración digito rectal; sin embargo, existe la percepción de que disminuye la masculinidad, lo cual es un reflejo de cómo las definiciones tradicionales de la identidad masculina persisten, generando desconfianza en los hombres para buscar exámenes y revisiones médicas.
Una prueba de antígeno prostático, así como exploraciones periódicas a partir de los 50 años, pueden ayudar a tener una atención oportuna y a detener el avance de la enfermedad muy a tiempo.
LA SALUD MENTAL
Por otra parte, lo que se refiere a salud mental, los hombres también suelen minimizarla, incluso las generaciones más jóvenes. Un estudio de la consultora Ipsos encontró que 55% de las mujeres mexicanas pertenecientes a la generación Z eligen la salud mental como uno de los mayores problemas, en comparación con 37% de los varones.
La OMS afirma que la depresión es la principal causa de discapacidad en todo el mundo y que afecta tanto a hombres como a mujeres; sin embargo, en este caso, los hombres son especialmente reacios a buscar ayuda y atención.

Es posible que cerca de 100 mil toneladas arriben directamente a la costa de nuestro país durante 2025: Brigitta I. van Tussenbroek, investigadora del Instituto de Ciencias del Mar y Limnología en la Unidad de Puerto Morelos, Quintana Roo.
REDACCIÓN
CIUDAD DE MÉXICO
La masa de sargazo que se está formando en el trópico ya alcanza los 37.5 millones de toneladas métricas y algunos informes de satélite mencionan que son inclusive 40 millones, casi el doble del récord registrado en 2018, cuando los satélites detectaron aproximadamente de 20 a 22 millones de toneladas, afirmó Brigitta I. van Tussenbroek, investigadora del Instituto de Ciencias del Mar y Limnología (ICML) de la UNAM, en la Unidad de Puerto Morelos, Quintana Roo.
Ante este escenario, agregó, es posible que un 10 % llegue directamente a la costa del Caribe en su totalidad, es decir, cerca de 400 mil toneladas de sargazo, mientras que el Caribe mexicano podría recibir 100 mil toneladas durante todo el 2025.
Desde mayo está arribando el sargazo a costas del Caribe. La especialista calificó este nuevo pico como un “desastre total, no hay otra manera de expresarlo”, al referirse a las consecuencias en los ecosistemas costeros del Caribe mexicano en este 2025. El deterioro de los ecosistemas, dijo, es por un efecto acumulativo de las afluencias masivas de años anteriores desde 2015.
“Estos sistemas se desarrollaban en aguas transparentes con poco aporte externo de nutrientes que ofrecía un maravilloso azul turquesa. Ahora, el exceso de materia orgánica altera todo: arrecifes, corales, pastos marinos y manglares están en riesgo”, relató la doctora especialista en biología
y ecología de pastos marinos y macroalgas.
Y es que toneladas de sargazo avanzan a través del Atlántico y amenazan con una llegada sin precedente a las costas del Caribe mexicano, recalcó.
Cuando llega el sargazo está aportando toneladas de materia orgánica a estos sistemas. Son cantidades enormes de nutrientes que alteran y cambian los ecosistemas.
“Obviamente las aguas ya no son azules, sino como más verdosas”, acentuó la experta.
También admitió que rara vez usa la palabra “desastre”, pero, en este caso, el cambio observado en el ecosistema de 2015 a la actualidad sí que lo es. Por ejemplo, describió que los arrecifes ya degradados por la llegada del sargazo fueron afectados además por una enfermedad de los corales, por lo que la mayor parte murió. La pradera de pastos marinos está cambiando y ya tienen menos propiedades de las que tenían para proteger y estabilizar las costas y las playas.
Aunque precisó que la muerte de los corales no la causó directamente el sargazo, sí fue un factor que los debilitó aún más. “La mayor afectación vino por una enfermedad viral agravada por el cambio en la calidad del agua, el exceso de nutrientes y el aumento de temperatura”.
JULIO Y AGOSTO SERÁN
MESES CRÍTICOS
Al preguntarle sobre cuándo será el momento más complicado en este 2025, reconoció que es difícil hacer predicciones precisas en temas ecológicos, así como de eventos oceanográficos y meteo-
rológicos:
“Pero si las condiciones se mantienen estables, es decir, si no ocurre un huracán u otro fenómeno mayor, creo que la situación todavía va a empeorar. Estoy segura de que julio será un mes crítico, y probablemente también agosto, aunque esto depende del pronóstico satelital de las masas algales en el mar abierto”, señaló.
En este orden de ideas, explicó que el sistema de pronóstico de sargazo que se utiliza es satelital y está a cargo de la Universidad del Sur de Florida, en Estados Unidos, dicho sistema emite predicciones mensuales basadas en la observación de mantos de sargazo flotando en la superficie del océano.
¿QUÉ ES?
El sargazo es un alga parda, conocida como Sargassum natans y Sargassum fluitans, la cual es única, precisó Brigitta I. van Tussenbroek, quien como ecóloga y bióloga dijo estar maravillada con ella porque pasa todo su ciclo de vida flotando en la superficie del océano.
“Mientras está en el océano fuera de las costas ofrece un sustento a un ecosistema maravilloso y diverso con muchas funciones, incluso también en reciclar nutrientes, absorción de carbono y tiene una fauna muy diversa, la cual depende de esta alga”, reveló.
La investigadora rememoró que el sargazo ha estado, por lo menos, por cientos de años, en el Océano Atlántico subtropical, ya en el giro del Atlántico Norte; incluso Cristóbal Colón lo encontró a su paso y fueron los primeros registros históricos de esta alga.
“Es una masa que se encuentra flotando en el océano, son parches enormes, luego chiquitos, luego grandes, pero debe de haber como un giro que lo concentra. Y, mientras se quedaba ahí (en mar adentro) era un sistema maravilloso. Muchos lo estudiaron con asombro, no significaba un problema. A veces llegaba a las costas mexicanas o de Estados Unidos, pero nadie se preocupaba mucho”, argumentó.
Acerca de la situación actual del sargazo en las costas mexicanas y qué diferencias observa respecto a temporadas anteriores, la especialista sostuvo que es en los últimos

años cuando ya se introduce en esta área tropical y ha aumentado en biomasa.
Van Tussenbroek declaró que en los años 2010 y 2011 hubo una llegada importante de sargazo debido a anomalías combinadas con otros factores, tales como una misma depresión atmosférica que transportó esa alga de la “mar de los sargazos” hacia el área tropical.
La experta subrayó que esa alga cumple un papel ecológico fundamental en altamar, al servir de alimento y refugio para una diversa comunidad marina, “existe una fauna asociada muy variada, con especies pequeñas que viven de forma permanente entre el sargazo. Por ejemplo, las crías de tortuga encuentran ahí protección; hay peces camuflados que imitan su forma, además de camarones, moluscos y otros organismos. También atrae peces y aves de mayor tamaño que se alimentan en este entorno. Es un ecosistema muy rico y fascinante”.
En cuanto al impacto turístico, consideró que es difícil de evaluar en su totalidad, aunque las pérdidas económicas son evidentes. “Los turistas ya no llegan con la misma frecuencia, porque las playas no lucen tan atractivas”. Además,el sargazo también
tiene consecuencias para la salud del ser humano, ya que puede liberar gases que le afectan. No es un tema menor, describió. “Le perjudica de forma indirecta, porque al descomponerse libera principalmente amoniaco, metano y ácido sulfúrico; este último es el más penetrante porque los otros dos gases no llegan tan lejos”. Además de afectar el medio ambiente y el turismo, también tiene consecuencias para la salud del ser humano, ya que puede liberar gases, principalmente amoniaco, metano y ácido sulfúrico
¿CÓMO CONTENER SU LLEGADA?
La investigadora reveló que las estrategias más efectivas para su contención a pequeña escala son las barreras con barcos que continuamente están quitando sargazo. Estas barreras se encuentran a cierta distancia de la costa, 100 o 200 metros, dependiendo, ya que no se pueden poner en cualquier lugar, además de que son muy costosos, y no son suficientes para contener el problema.
Asimismo, reconoció que, si bien en los últimos años se ha avanzado en el conocimiento sobre el sargazo, los esfuerzos de manejo siguen siendo en su mayo-
PRIMERA SECCIÓN
Viernes 13 de Junio de 2025


ría aislados, a partir de proyectos individuales sin una coordinación sostenida.
Como ejemplo, comentó que su grupo en Puerto Morelos estudia la biología y fisiología del sargazo para comprender sus altas tasas de crecimiento en distintas condiciones. Esta información, destacó, es clave para quienes desarrollan modelos de predicción y para quienes rastrean las manchas por satélite.
Ante la pregunta sobre un posible escenario crítico, la especialista fue clara: “El peor es que no se haga nada o que las acciones sigan siendo insuficientes”. Precisó que,


verse gravemente afectada”.
MEDIDAS
En días pasados, Alicia Bárcena Ibarra, secretaria de Medio Ambiente y Recursos Naturales, reconoció que “llegan alrededor de 60 mil toneladas de sargazo al año en los años más difíciles, y este va a ser uno. La Secretaría de Marina nos ha ayudado muchísimo. Lo que queremos ahora es cambiar la dinámica y recolectarlo en el mar, vivo, porque cuando ya llega a la playa está descompuesto”.
Anunció que junto con el gobierno de Quintana Roo se buscará “montar una planta de tratamiento de sargazo para poderlo recolectar, tratar y generar biogás junto con los lodos de las plantas de tratamiento”.
en esas condiciones, el arrecife podría perder por completo su estructura tridimensional, lo cual le dejaría sin capacidad para amortiguar el impacto de fenómenos como los huracanes. “Si llega un huracán mayor, la erosión costera sería devastadora. Toda la zona costera de Quintana Roo podría
Un boletín de prensa de la Secretaría de Marina expresó que la Coordinadora de la Estrategia para la Atención al Sargazo ha intensificado sus esfuerzos para combatir la llegada masiva de la mano de los gobiernos estatal y municipales, así como con la sociedad civil e iniciativa privada.
Asimismo, continúa el documento, “el aproximado de la cantidad a recabar en las costas
del Caribe mexicano es un total estimado de 77 toneladas en cuatro ubicaciones diferentes. En lo que va del año 2025, la cantidad total acumulada de sargazo entre los siete puertos del estado de Quintana Roo ha sido de un aproximado de 4 mil 236.26 toneladas, acumulando 266 mil 43 toneladas desde el año 2019”.
CONSOLIDAR UN ESFUERZO NACIONAL Para Brigitta I. van Tussenbroek, el mensaje clave que debería difundirse es la necesidad urgente de consolidar un esfuerzo nacional, coordinado y con recursos suficientes, para atender el fenómeno del sargazo de forma integral. Propuso la creación de un consorcio científico sólido, con impulso institucional y financiamiento adecuado, que permita articular desde la generación de conocimiento básico hasta el diseño de mejores prácticas de manejo y aprovechamiento.
“Se trata no sólo de entender cómo crece o se mueve, sino también de desarrollar soluciones viables, valorar su uso potencial y definir zonas donde su presencia puede ser contenida o incluso aprovechada”, concluyó.




El Heraldo de Xalapa
Jueves 19 de Junio de 2025
Jueves 19 de Junio de 2025
@HeraldoXalapa
El Heraldo de Tuxpan @Heraldo_Tuxpan

Producían combustible de manera ilegal, representando un serio riesgo para la población, en Coatzacoalcos.
Lo ultimaron a balazos en plena céntrica calle, mientras estaba en su auto, responsables siguen prófugos. PASE A LA 22

Tres petroleros del área de perforación fueron víctimas de secuestro virtual, en Las Choapas. PASE A LA 21

Tras ser impactada por otra camioneta, una dama perdió el control de su unidad y terminó contra un poste, en Poza Rica. PASE A LA 21
