El Heraldo de Tuxpan 2 de Septiembre de 2023

Page 1

DANZAS AUTÓCTONAS, EXCLUSIVAS DE HOMBRES

Piden

ABUSAN PIPEROS EN LA VENTA DE AGUA

Directora Editorial: Lic. Julia Méndez Campos Director General: Lic. Francisco Sánchez Macías | elheraldodetuxpan.com.mx | | SÁBADO 2 DE SEPTIEMBRE DE 2023 | AÑO XIX No 5933 $9.00 G R U P O E D I T O R I A L DE VERACRUZ INTERNACIONAL · PAG 15 NARANJOS · PAG 8 SARGAZO EN PLAYAS Descartan derrame o contaminación por hidrocarburo. TUXPAN · PAG 3 TUXPAN · PAG 4 ¡Otra vez! INCOMUNICADOS, EN LA VILLA Se frustran comercios que dependen del internet. TAMIAHUA · PAG 7
un tinaco de mil 100 litros, cuesta entre 160 y 180 pesos y apenas si dura de una a dos semanas. TUXPAN · PAG 5 CERRO AZUL · PAG 6
Llenar
SIGUEN LAS QUEMAS INMODERADAS
a autoridades aplicar sanciones
LA VENTA DE ADORNOS PATRIOS HONG KONG Y CHINA, SE ‘PARALIZAN’
INICIA

Acceden al seguro de desempleo

Esto representó apoyos por parte del Infonavit por más de 1,023 millones de pesos

CDMX.- De enero a junio de este año, 109 mil 189 personas con un crédito vigente del Instituto del Fondo Nacional de la Vivienda para los Trabajadores (Infonavit) fueron beneficiadas con el Seguro de Desempleo (Fondo de Protección de Pagos), lo que les permitió mantener su financiamiento al corriente y evitar poner en riesgo su patrimonio.

Lo anterior representó apoyos

por más de mil 23 millones de pesos ya que, gracias al Seguro de Desempleo (Fondo de Protección de Pagos), las personas que perdieron su relación laboral sólo tuvieron que pagar el 10% de la mensualidad de su Crédito Infonavit más comisiones y el 90% restante se cubrió con dicho fondo.

Este beneficio, que cubre la mayor parte de la mensualidad del crédito, tiene una duración de seis meses y puede ser utilizado por las y los

Ayuntamiento deja cables de alta tensión colgados

REDACCIÓN

XALAPA

Vecinos de la colonia Insurgentes denunciaron que el ayuntamiento de Xalapa dejó cables con corriente eléctrica colgados afuera de las ventanas de sus casas.

De acuerdo con Arely Hernández Alvarado, vecina de la zona, esto ocurre

Lic. Julia Méndez Campos

trabajadores cada vez que lo necesiten, siempre y cuando el periodo entre una solicitud y otra sea de cinco años.

Por estados, seis entidades concentraron el 42.8% de las personas beneficiadas con el Seguro de Desempleo (Fondo de Protección de Pagos), quienes recibieron apoyos por más de 436 millones de pesos. Los requisitos para solicitar el Seguro de Desempleo (Fondo de Protección de Pagos) son los

sobre las calles Pípila y Mariano Abasolo donde el personal municipal realizó maniobras para presuntamente mejorar el alumbrado público.

“Cuando arreglaron en la Pípila metieron tres luminarias, pero luminarias teníamos en la parte de Mariano Abasolo, entonces en la esquina de Pípila con Mariano Abasolo retiraron una luminaria y pusieron otra de otro lado un poco más abajo”, expresó.

Sin embargo, los trabajadores del ayuntamiento dejaron los cables colgados en la vía pública poniendo en riesgo a los pobladores, quienes podrían sufrir una descarga eléctrica.

siguientes: haber contratado el crédito a partir del 2009, haber tenido una relación laboral asalariada durante al menos seis meses previos a su uso, tener por lo menos un mes sin empleo formal, siempre que no sea por pensión, incapacidad o invalidez.

Para acceder a otras Soluciones de Pago, las y los acreditados pueden acudir al Centro de Servicio Infonavit (Cesi) más cercano o llamar a Infonatel (800 008 3900)

El lunes, Sergio

Gutiérrez presentará su informe

Se transmitirá a las 10:00 horas, a través de la cuenta oficial de Facebook del legislador veracruzano

REDACCIÓN XALAPA

ediciontuxpan@hotmail.com CONTACTO REDACCIÓN diariotuxpublicidad@hotmail.com

Gerente Administrativo

para recibir asesoría y determinar la que más le convenga. Infonavit es una institución de seguridad social del Estado, que tiene como objetivo otorgar crédito barato y suficiente para que las y los trabajadores puedan acceder a una vivienda adecuada y formar un patrimonio. Desde su creación en 1972 a la fecha, el organismo ha colocado más de 12 millones de créditos.

El diputado federal veracruzano, Sergio Gutiérrez Luna, presentará su Informe de Actividades el próximo lunes 4 de septiembre, a las 10:00 de la mañana, a través de su cuenta oficial de Facebook: “Sergio Gutiérrez Luna “.

Sus actividades legislativas, como gestor de sus paisanos, promotor de las riquezas y fortalezas de Veracruz y defensor de los principios de la Transformación serán presentados en este ejercicio de Rendición de Cuentas.

Por lo anterior se está invitando a la población veracruzana a seguir la transmisión y conocer más a fondo cada una de las actividades realizadas por el legislador.

Sábado 2 de Septiembre de 2023 Primera Sección 2. LOCAL
CONTACTO PUBLICIDAD G R U P O E D I T O R I A L DE VERACRUZ | elheraldodetuxpan.com.mx |
El Heraldo de Tuxpan es una publicación de lunes a sábado. Editor responsable Ing. Eduardo Sánchez Macías. Número de Certificado de Reserva de Derecho al Uso Exclusivo del título 04-2016062417532400-101. Certificado de Licitud de Título: 16764. Certificado de licitud de contenido 16764. Domicilio de la publicación, impreso y distribuido por Editora Sánchez S.A. de C.V., con domicilio en 15 de Septiembre No. 7 Col. La Rivera, Tuxpan, Veracruz. C.P. 92800 TEL. 01 (783) 834 16 73 y 01 (783) 835 58 34. Lic.
Flor Parrilla Silva Director General Lic. Francisco Sánchez Macías
Editorial
Jefe de Redacción Lic. Misael Leyva Julio Jefe de Información Lic. Teresa de Jesús Blasco Ramírez Jefe de Diseño y Producción LCC
Escudero
Directora
Rafael Melgarejo
»REDACCIÓN

SARGAZO EN PLAYAS

Descartan derrame o contaminación por hidrocarburo

REDACCIÓN TUXPAN

El Gobierno de Tuxpan informa que se ha detectado la presencia de macro algas (Sargassum) en playas del norte del municipio, mismas que no representan un riesgo para la salud.

Asimismo, se ha descartado totalmente que exista algún tipo de derrame o contaminación por hidrocarburo.

Esta misma tarde se rea -

POLICÍAS,

lizó un recorrido con la participación de personal de la Comisión Nacional de Áreas Naturales Protegidas (CONANP), Capitanía de Puerto, Secretaría de Marina, Protección Civil y la Coordinación del Medio Ambiente del Gobierno de Tuxpan.

Se tiene programado realizar una limpieza de las zonas afectadas por la presencia de Sargazo a inicios de la próxima semana, en la que tomarán parte autoridades de los 3 niveles de gobierno, cámaras empresariales, prestadores de servicios y la ciudadanía.

El compromiso es mantener nuestras playas limpias y con la mejor calidad del agua, de todo el país.

OPLE, listo para retomar consulta

Consultarán a pueblos indígenas y afrodescendientes sobre cómo quieren elegir a sus representantes populares

AGENCIAS

XALAPA

materia de representación político-electoral para el proceso comicial local 20232024.

El consejero y presidente de la Comisión de Prerrogativas y Partidos Políticos del OPLE, Fernando García Ramos, dijo que tiene hasta el 31 de diciembre de este año para realizar la consulta pública libre, previa, informada, de buena fe y culturalmente adecuada a los pueblos y comunidades indígenas y afro mexicanas.

AGENCIAS

XALAPA

La presidenta de la Comisión Estatal de Derechos Humanos, Namiko Matzumoto Benítez, dijo

que, en este año, los ayuntamientos de Veracruz ocupan el segundo lugar en número de quejas.

Manifestó que al mes hay un promedio de 800 peticiones de intervención, de las cuales, un 25 por ciento son en contra de los ayuntamientos por uso excesivo de la fuerza pública por parte de las policías municipales.

Asimismo, dijo que la Comisión Estatal de Derechos Humanos ya recibió la primera queja en contra de los libros de texto gratuito, misma que fue presentada por la dirigencia estatal del Partido Acción Nacional (PAN), pero como no es de su competencia, la turnó a la Comisión Nacional de Derechos Humanos (CNDH).

Luego de que la sala superior del Tribunal Electoral del Poder Judicial de la Federación determinara que el Organismo Público Local Electoral tiene facultades y competencia para llevar a cabo la consulta libre, previa, informada, de buena fe y culturalmente adecuada a los pueblos y comunidades indígenas y afro mexicanas, el árbitro electoral está listo para preguntarle su opinión en torno a cómo quieren que se elijan sus representantes populares y con ello, implementar acciones afirmativas en

Y hasta el 20 de enero de 2024 para emitir los lineamientos que habrán de indicar a los partidos políticos en qué distritos tienen que postular personas indígenas, y en qué municipios y para qué cargos deben postular a personas que pertenezcan a las comunidades indígenas y a los pueblos afrodescendientes. Además, se tendrán que fijar nuevas fechas para realizar las asambleas informativas, deliberativas y consultivas en 11 sedes.

Dijo que la consulta tiene tres grandes temas: la auto adscripción, las cuotas para la elección de diputados del próximo año y la elección de alcaldes en el 2025; y hay tiempo para realizarla.

Primera Sección Sábado 2 de Septiembre de 2023 .3 LOCAL | elheraldodetuxpan.com.mx |
SEGUNDO LUGAR EN QUEJAS
CEDH ya recibió primera queja en contra de los libros de texto gratuito

Siguen las quemas inmoderadas

Piden a autoridades aplicar sanciones para frenar la irresponsabilidad de propiciar incendios

REDACCIÓN TUXPAN

En colonias y comunidades del municipio continúan las quemas inmoderadas de basura y pastizales, sin ningún control, mismas que los propios vecinos tienen que reportar al departamento de bomberos o al 911, por temor a que causen algún accidente de fatales consecuencias.

Estas quemas de basura o pastizales, contribuyen a producir ambientes contaminados de humo, pueden provocar afecciones respiratorias, desde reacciones alérgicas hasta cuadros más severos como la obstrucción pulmonar y el cáncer de pulmón, estos últimos casos ocurren cuando el nivel de toxicidad llega a su etapa crónica.

La mayoría de las quejas se

basa, en que estas prácticas son muy molestas y peligrosas, porque se pueden salir de control y terminar en fatales consecuencias, además de que el olor causa nauseas o dolores de cabeza, el olor se impregna en la ropa limpia y si está recién lavado peor. El ambiente se contamina cuando existe una quema, sin importar el contenido del desecho: hojarascas o sustancias

tóxicas y cabe resaltar que este tipo de prácticas puede afectar tanto a personas consideradas sanas como a las enfermas. Estas actividades forman parte de una falta administrativa que atenta contra la salud pública y el medio ambiente, por ello las autoridades multan a quienes las realizan, aunque en la gran mayoría de las veces no encuentran a los responsables.

Proponen reglamento para la playa

Para brindar mayor seguridad

»REDACCIÓN

TUXPAN.- Con la finalidad de tener una playa más segura, un grupo de vecinos de las comunidades cercanas a la zona costera de Tuxpan, entregaron al Presidente Municipal José Manuel Pozos Castro, una propuesta de reglamento para éste punto turístico más importante y visitado del municipio.

Llevarán oferta laboral a las comunidades

La siguiente semana el SME visitará la ruta a Tamiahua

»REDACCIÓN

TUXPAN.- El Servicio Municipal de Empleo en coordinación con la Secretaría de Trabajo y Previsión Social, prepara una jornada de contrataciones en la zona rural del municipio, por lo que acudirán a más de una decena de comunidades ubicadas en la carretera a Tamiahua, con la finalidad de llevar hasta los habitantes de dichos lugares las vacantes que diversas empresas están ofertando para laborar.

Será durante los días, martes 5 y miércoles 6 de septiembre, cuando el personal de dichas dependencias estará presente a partir de las 9 de la mañana en las instalaciones del domo de la comunidad de Laja de Colomán, por lo que se está invitando a los habitantes de las zonas aledañas para que acudan a conocer las oportunidades de empleo exis-

tentes, y de acuerdo con los perfiles buscar la oportunidad de ser contratados.

El objetivo de dicha actividad por parte del Servicio Municipal de Empleo es llevar las oportunidades de laborales a las comunidades, y así facilitar la forma de conseguir un trabajo a los ciudadanos de esas zonas del municipio, los cuales por estar un poco más lejanos a la cabecera muchas veces no se enteran de las contrataciones que se están realizando.

Hasta el momento ya hay una docena de empresas interesadas en acudir a promocionar sus vacantes a las comunidades de la ruta a Tamiahua, sin embargo, se espera en los próximos días de sumen otras y que con ello la oferta de trabajo sea mayor para quienes radican en esos lugares.

De acuerdo con lo señalado por personal del SME este tipo de acciones se estarán realizando también en otras comunidades de la ciudad, con el objetivo de que las oportunidades de trabajo lleguen a la mayor parte de la población rural.

Para la Feria del Empleo en tu Comunidad, los interesados en beneficiarse deberán acudir con su currículo vitae, identificación oficial, así como también quienes cuenten con licencia para conducir tipo A, B y C, deben llevarla.

En representación de los habitantes de las localidades de Tampamachoco, Barra Norte, Petrolera y Playa, el agente municipal Gabriel Gómez Ruiz, informó que a manera de coadyuvar con las labores del Ayuntamiento y del gran trabajo que realiza el Alcalde José Manuel Pozos Castro, hicieron entrega de este importante documento en el que se propone seguir un lineamiento para tener la zona de la playa más segura.

“Le hicimos entrega al Lic. José Manuel Pozos Castro el proyecto del Reglamento de Seguridad, Salvamento y Rescate Acuático de nuestras playas, es un tema importante que se debe tomar en cuenta, para tener mejores

playas”, señaló.

Explicó que lo elaboraron con el firme objetivo de velar por la seguridad física del turismo nacional e internacional que visita el municipio, así como de los prestadores de servicios turísticos y habitantes de la comunidad.

Este reglamento tiene también como finalidad la creación de un plan de emergencia para prestadores de servicios turísticos en relación a la seguridad, salvamento y rescate de personas; con lo que reiteró que se estará dando un paso firme en el desarrollo turístico e imagen del municipio como destino de nivel internacional.

Asimismo, Gómez Ruiz expuso que “ cada fin de semana nuestra ciudad es visitada por miles de turistas que acuden a las diversas playas de nuestra comunidad y municipio, de por lo que la seguridad depende de varios factores, y el principal es el comportamiento responsable de los bañistas y la administración de todos los riesgos. Es por ello que se deben de buscar las estrategias en coordinación con las autoridades competentes en temas de prevención contando con un Reglamento”.

Agrego que tal documento debe estar basado en un Análisis de Riesgo de la zona de playa, considerando la recopilación histórica de la estadística, por lo que agradeció al Presidente Municipal, por darles la apertura de presentar este proyecto que con mucho compromiso han elaborado sin ningún protagonismo político.

LOCAL Sábado 2 de Septiembre de 2023 4. | elheraldodetuxpan.com.mx | Primera Sección

REDACCIÓN TUXPAN

El desabasto de agua que prevalece en el municipio y que padecen familias de diversas colonias, ha generado que el servicio en pipa se haya encarecido en los últimos meses; situación que ha causado fuertes inconformidades en los tuxpeños, ya que tienen que desembolsar cada quincena o cada mes para que les llenen sus tinacos y tanques, además de tener que pagar a la Comisión de Agua del Estado de Veracruz de forma mensual algo que no reciben.

Hace apenas tres meses el precio por llenar un tinaco de mil 100 litros de capacidad era de aproximadamente 100 o 120 pesos; sin embargo, en estos momentos se están cobrando de 160 a 180 pesas, dependiendo del proveedor, lo que significa que se incrementó

ABUSAN PIPEROS EN LA VENTA DE AGUA

Llenar un tinaco de mil 100 litros, cuesta entre 160 y 180 pesos y apenas si dura de una a dos semanas

entre 50 y 60 pesos; sin embargo, la mayoría de las familias además de un tinaco, llenan también tanques, por lo que al final pagan en promedio 200 pesos para tener con qué asearse y realizar diversos oficios en el hogar.

Las familias pequeñas de dos o tres personas, haciendo uso razonable del líquido, pueden hacer

Participa DIF en la “Ruta M 2023”

»REDACCIÓN

TUXPAN.- Mujeres Tuxpeñas participaron con el apoyo y acompañamiento del DIF

Municipal en la Segunda Edición de la “Ruta M 2023”, en la ciudad de Xalapa, acompañadas por la Presidenta del organismo Pamela Morales Huesca y donde el municipio obtuvo una destacada participación.

Cabe destacar que fue el Gobierno del Estado a través del Consejo Veracruzano de la Agenda 2030, quien llevó a cabo la segunda edición de “Somos la Ruta M 2023”, en

rendir sus tanques y tinacos hasta un mes, pero las familias con más integrantes realizan el gasto casi una vez por quincena, por lo que los gastos han aumentado fuertemente en el tema del agua, además del recibo que se le debe paga a la CAEV, quienes después de un mes de atraso envían personal para desconectar el servicio y cobrar

multas por reconexión. Los tuxpeños de diversas colonias ya se han manifestado y expresado sus inconformidades, y aseguran que todo ha quedado en promesas, y aunque en ocasiones en algunas calles o fraccionamientos la CAEV envía pipas ante la falta del servicio, esto no es suficiente.

Habrá módulo itinerante del Registro Público Impulsarán cultura del testamento, el cual tendrá un costo de mil

200 pesos

»REDACCIÓN

TUXPAN.- El Registro Público de la Propiedad acercará sus servicios a colonias y comunidades durante este mes de septiembre con motivo del programa del “mes del testamento”, con el propósito de apoyar a la población en sus diversos trámites que la ciudadanía va a requerir para poder efectuar su documento sobre el patrimonio que tenga, informó el delegado estatal Raymundo Vilis

En este contexto ahora piden también a las autoridades que, si al menos no tienen para cuando resolver el problema del desabasto del agua, realicen una supervisión a los negocios de pipas, pues cada día ante la necesidad de la población por tener agua para su uso en el hogar, le van subiendo al servicio por llenar los tinacos.

Hernández.

Explicó que el registro público otorgará asesorías gratuitas para la realización de los trámites, por lo que trabajarán en coordinación con los Notarios de la ciudad para ofrecer los servicios a costos bajos. Comentó que en esta ocasión el costo será de 1200 pesos, de acuerdo a lo establecido en el convenio signado con el colegio de Notarios del Estado, la Secretaria de Gobernación y la Dirección General del Registro Público de la Propiedad, mismo que fue puesto en marcha el pasado 30 de agosto, en la ciudad de Poza Rica y estuvieron presentes 25 notarios públicos de los municipios de Papantla, Tuxpan y Poza Rica.

“En este mes del Testamento y sobre todo para darle asesoría a la gente de cómo pueden heredar sus propiedades ante los notarios públicos y sobre el costo que ahora será de 1, 200 pesos ya que contempla lo que son los gastos por el otorgamiento ante el notario público y el impuesto al estado, haremos los máximos itinerantes”, comentó.

dónde se realizaron acciones para visibilizar el papel de las mujeres los ámbitos públicos, privados; así como la inclusión de promoción de la cultura de la paz con la difusión de los valores como la sororidad, empatía, igualdad y paridad.

Con gran entusiasmo, la Presidenta del DIF, personal del organismo y representantes del gobierno local, fueron partícipes de éste gran movimiento, en donde participaron dependencias gubernamentales y ayuntamientos.

Con estas acciones, la presidenta del DIF, reafirmó el compromiso que tiene el Gobierno Municipal de siempre sumarse desde el Cabildo a las iniciativas que fomenten aún más una cultura con mayor concienciación, entorno a la igualdad de género, reconociendo la fortaleza e inclusión de las mujeres.

De acuerdo a las participantes, esta actividad genera un gran impacto para defender los objetivos de la agenda 2030 e impulsar más oportunidades para las mujeres, logrando una vida libre de violencia.

| elheraldodetuxpan.com.mx | Sábado 2 de Septiembre de 2023 .5 LOCAL Primera Sección
Latente el compromiso del Gobierno Municipal para concientizar sobre la igualdad de género

Inicia la venta de adornos patrios

»REDACCIÓN

CERRO AZUL.- Sombreros, banderas de todos tamaños, matracas, moños, aretes, bigotes y barbas, blusas y faldas son algunos adornos tricolores que se han iniciado a vender en el parque Primero de Mayo, avenida Independencia e Hidalgo de la zona centro, con motivo del

presente mes patrio. Entrevistado al respecto, Don Pedro, quien cada año acude a esta ciudad a vender adornos patrios en un carrito y se instala sobre las avenidas, mencionó que a pesar de ya haber iniciado septiembre, y que muchas familias empiezan a adornar sus casas desde el primer día, el repunte de ventas no ha sido el esperado.

“Las ventas aún están bajas, ya acercándose el 15 de septiembre tengo mayores compras, principalmente de banderitas que tengo desde 20 pesos hasta 200 pesos, según el tamaño que soliciten”, puntualizó.

Estos vendedores ambulantes

provienen de la ciudad de México, y cada año acuden a este municipio a vender estos adornos patrios con los tres colores de la bandera verde, blanco y rojo, estas ventas son artesanales ya que se hacen manualmente como las banderitas, aretes, moños, adornos para el cabello entre otras. Los comerciantes formales también ya iniciaron sus ventas en menor proporción y ya exhiben papel picado, adornos colgantes para puertas y para colocar al frente de las viviendas, también vestimenta para el presente mes, las tiendas de autoservicio también venden algunos adornos mexicanos en menor proporción.

Vendedores

lavan su espacio

Buscan dar una imagen de orden y limpieza a sus clientes, para mayor confianza en le consumo de alimentos

»REDACCIÓN

CERRO AZUL.- Vendedores que se ubican por las tardes a un extremo del parque Primero de Mayo de la zona centro, agarran escoba, jabón y agua para lavar este espacio en donde se comercializa comida rápida como son papas, plátanos fritos, trolelotes, papitas, dulces, entre otros productos.

Los cerca de quince vendedores de este espacio están convencidos

que es importantísimo cuidar la imagen que se transmite, toda vez que el orden y la limpieza de los espacios en donde comercializan cada tarde es uno de los factores que más influyen a la hora de causar una magnífica impresión y puede ser el factor decisivo que haga que un cliente les compre sus productos de comida.

Es por esto que se organizaron siguiendo las pautas de las autoridades y con su ayuda decidieron lavar con agua y jabón su área, para que quedara limpia y desinfectada, dando así una nueva imagen de pulcritud a los cerroazulenses que acuden a comprarles.

Han manifestado que esta actividad la realizarán cada mes con el fin de que estos espacios luzcan limpios, además de que todos deben dejar limpio cuando se van y recogen su puesto, realizando estas tareas a conciencia utilizando una pipa con agua para una mejor limpieza.

Sábado 2 de Septiembre de 2023 | elheraldodetuxpan.com.mx | 6. CERRO AZUL Primera Sección
Productos van desde los 20 hasta los 200 pesos, o más

Se frustran comercios vía internet

REDACCIÓN

TAMIAHUA

Pese a su vocación turística, el municipio de Tamiahua carece de aspectos fundamentales para la estancia del turismo, uno de ellos es la falta de una red de telefonía funcional y un servicio de internet de calidad, que permita a los vacacionistas estar al pendiente de sus negocios a distancia, si así lo requieren.

Lamentablemente, Tamiahua, de manera constante se encuentra incomunicado por varias horas y hasta días enteros, lo cual imposibilita la permanencia de los vacacionistas, por la falta de señal, tal y como sucedió este viernes desde muy temprana hora.

Cabe señalar que luego de la pandemia, la comunicación vía celular y el comercio de diversos productos se trasladó a las redes sociales, por lo cual el estar

Incomunicados, en la Villa

oferta de sus productos vía redes sociales, sin embargo esto no fue posible en esta ocasión debido a la repentina falta de señal, que en algunos casos retrasó y en otros frustró por completó la compra-venta de productos.

conectados a la red de Internet y tener una buena señal en tu celular se ha vuelto algo funda-

mental para comercializar, ropa, comida, postres y toda clase de productos.

Este viernes, muchos comerciantes especialmente los del ramo de la comida, inician con la

Caballos deambulan en calles principales

Autoridades no atienden problema vial

»REDACCIÓN

TAMIAHUA.- La vagancia de semovientes y equinos en las calles de la Villa de Tamiahua son un riesgo latente para conductores que las autoridades locales y elementos de vialidad han dejado pasar sin que se busque una solución a este problema que en cualquier momento puede ocasionar un accidente.

En repetidas ocasiones tamiahuenses han denunciado por distintos medios el enorme riesgo que estos animales representan primeramente para los automovilistas, pero también para los niños y niñas que pueden llegar a acercarse a ellos por mera curiosidad, arriesgándose a ser lastimados por alguno de

Llaman a recoger tarjetas de Bienestar

Para

REDACCIÓN TAMIAHUA

Integrantes del Centro de Integración de Desarrollo exhortan a Adultos Mayores que aún no cuentan con su tarjeta de Bienestar a que acudan a recogerlas, para que de esta manera sean utilizadas en la próxima entrega de apoyos del programa federal de la pensión para el Adulto Mayor.

El próximo apoyo se entregará en los primeros días del mes de septiembre a quienes ya cuentan con la tarjeta de Bienestar, mismas que fueron entregadas en la campaña de bancarización de la Secretaria de Bienestar el pasado mes de junio.

Quienes no pudieron asistir a dicha campaña a recoger su tarjeta pueden acudir a las oficinas del Centro Integrador de Desarrollo de la Secretaria de Bienestar en la Villa ubicadas en los terrenos de la Cooperativa “Tamiahua”, para recogerla o averiguar el estatus de la misma.

Luego de haber entregado la tarjeta del Banco de Bienestar a la mayoría de los beneficiarios del Programa de Pensión para el Adulto Mayor se espera que la entrega de apoyos del bimestre septiembre-octubre que se encuentra a la vuelta de la esquina sea más rápido y cómodo para las personas de la tercera edad.

La falta de una red de Internet más rápida es también una traba para el desarrollo turístico del municipio que se hace notar en la falla del cajero automático y en los escasos servicios bancarios con que cuenta la Villa, lo cual requiere de la gestión por parte de las autoridades para que las empresas como Telcel y Telmex se comprometan a mejorar el servicio o termine con el monopolio, indican habitantes de la Villa.

estos animales.

Recientemente un caballo avanzaba por plena calle Aquiles Serdán en el barrio sur de la Villa donde automovilistas tenían que hacer maniobras para esquivarlos, afortunadamente esto sucedió a plena luz del día, haciendo más fácil la tarea.

Tamiahuenses demandan que la autoridad ponga un alto a esta situación antes de tener que lamentar un accidente de pérdidas irreparables, pues no es posible que los dueños de estos animales no tengan ninguna responsabilidad de mantenerlos en un redil o establo, y se les permita dejarlos sueltos.

Señalan que anteriormente este problema se daba con mayor frecuencia en áreas conurbadas a la cabecera, sin embargo la vagancia de equinos se observa cada vez más en las calles principales de la Villa, zonas restauranteras y barrios norte de Tamiahua. Esto, además de ser un problema de seguridad vial es también causa de contaminación pues estos animales esparcen las basura en las calles en busca de alimento, por lo cual es necesario que el gobierno tome cartas en el asunto.

Sábado 2 de Septiembre de 2023 .7 TAMIAHUA | elheraldodetuxpan.com.mx | Primera Sección
poder recibir próximo apoyo

REDACCIÓN NARANJOS

Septiembre es la antesala de la denominada “Gran fiesta de la Huasteca”, es decir Día de Muertos, ya que el 29 de septiembre, coincidentemente con el Día de San Miguel Arcángel para los católicos, es cuando se coloca una primera ofrenda para recibir a quienes se han marchado, de acuerdo a la arraigada tradición.

Sin embargo, aunque se trata de una sola festividad, denominada también Xantolo, término derivado de Sanctorum, en cada región e incluso en cada localidad, la forma de celebrarla varía de manera notoria, tal como lo manifestó la promotora cultural Dafne Hernández Meixueiro, exdirectora de Casas de Cultura de tres municipios.

Indicó que incluso las denominaciones de los grupos de danzas autóctonas cambian, “Por ejemplo en Tempoal se llaman cuadrillas, en Tantoyuca son viejadas y en El Higo se les

Danzas autóctonas, exclusivas para hombres

En algunos pueblos de la Huasteca, las mujeres deben abstenerse de bailar, so pena de enfermar e incluso morir

dice parrandas. Incluso el vestuario es diferente y así mientras en Chinampa el vestuario se confecciona con telas lisas, en Citlaltépetl puede ser floreada”.

Reveló Dafne Hernández que, de acuerdo a sus usos y costumbres, hay poblaciones en las cuales las mujeres tienen prohibido tomar parte en ese tipo de bailes, ya que si alguna se atreve a hacerlo puede enfermar o incluso morir. “Por ejemplo en Chinampa una mujer no debe bailar como Chinola o Malinche; ese papel es exclusivamente para los hombres”, enfatizó.

SE RENUEVAN MAESTROS JUBILADOS

Cambian de dirigente integrantes de la Delegación D-IV.12 de la Sección 56 del SNTE

REDACCIÓN NARANJOS

llevaron a cabo importante sesión, en la que se efectuó el protocolo de cambio de dirigente, recayendo ahora tal responsabilidad en la persona de Felipe Martínez Reyes, quien recibió la estafeta de manos de su antecesor, Miguel Ángel Olmedo Peláez, que previamente rindió un informe de actividades.

FESTEJAN A “ABUELITOS” DE LA SIERRA DE OTONTEPEC

»REDACCIÓN

NARANJOS .- Diversas actividades se han realizado en los municipios asentados en la región de la Sierra de Otontepec durante la presente semana, en el marco del Día del Abuelo o Día del Adulto Mayor, desde jornadas de activación física y de promoción de la salud hasta paseos turísticos, sin faltar reu-

niones, comidas y actividades recreativas.

Lo anterior a través de los grupos Inapam que se encuentran diseminados en todo el país como alternativas de formación y desarrollo humano, educativo, cultural, deportivo y social, promovidos por el gobierno federal a través del Instituto Nacional de las Personas Adultas Mayores y cuyos integrantes participan activamente en la vida de sus comunidades.

En Citlaltépetl, los “abuelitos” se divirtieron jugando a la tradicional lotería para ganarse atractivos premios, pero además asistieron a una jornada médica efectuada por el Centro de Salud, mientras que en Tamalin realizaron un recorrido por las calles de la cabecera municipal, coronaron a su reina y tomaron parte en actividades de esparcimiento.

De igual manera en Chontla los adultos mayores tuvieron su festejo y en el caso de Naranjos realizaron un viaje junto con sus compañeros de Tamalín a la playa de Tamiahua, donde realizaron rutinas de ejercicios y convivieron bajo una palapa, cumpliendo de tal manera el objetivo del Inapam.

Profesores jubilados pertenecientes a la Delegación D-IV-12 de la Sección 56 del Sindicato Nacional de Trabajadores de la Educación (SNTE) se mantienen activos mediante su agrupación que aglutina a 80 socios radicados tanto en éste como en municipios de la región de la Sierra de Otontepec.

Este viernes por la mañana en sus propias instalaciones, los docentes eméritos

La toma de protesta del nuevo secretario general de los maestros jubilados estatales corrió a cargo del secretario técnico de la Región II Tuxpan del Fideicomiso Global de Trabajadores de la Educación Sección 56 (FigloSNTE 56), Abraham Sedano Campuzano, quien aprovechó para darles a conocer la forma en que éste funciona.

Explicó Abraham Sedano que el modelo “Figlo” es una solución innovadora que resuelve rezagos de algunos rubros de prestaciones sociales y económicas de los trabajadores, que no han tenido respuestas satisfactorias a través de los modelos tradicionales, como es el caso de préstamos y cobertura de gastos funerarios, entre otros beneficios.

| elheraldodetuxpan.com.mx | NARANJOS Sábado 2 de Septiembre de 2023 8. Primera Sección
Diversas actividades desarrollan los clubes Inapam, promovidos por el gobierno federal

PC prepara megasimulacro

Con hipótesis de sismos y huracanes

»AGENCIAS

Coatzacoalcos.- Con hipótesis de sismos y huracanes, la Coordinación Nacional de Protección Civil se prepara para el megasimulacro en septiembre.

David Esponda Cruz, director de Protección Civil en Coatzacoalcos, indicó que están evaluando cuál de las cuatro hipótesis pudiera contribuir en las acciones preventivas para el municipio.

Las dos primeras son movimientos telúricos, uno en Guerrero y el otro al norte del país, mientras que los huracanes serian categoría tres y cuatro, el primero impactaría al Caribe y Golfo de México, por lo que podría ser este el más adecuado para representarlo en Coatzacoalcos.

Precisó que dichas tareas se realizan en el marco del Día Nacional de Protección Civil, conmemorando los sismos de 1985 y 2017.

La actividad se efectuará a las 11 de la mañana en todo México y tiene como objetivo responder ante cualquier emergencia.

“Las dos primeras son sismos que tienen epicentro en Guerrero y uno más al centro del país, y uno más por dos huracanes, uno categoría tres y otra categoría cuatro, la categoría cuatro va a impactar del lado del Caribe y Golfo de México y la hipótesis en su recorrido podría afectar a nuestro estado.

Entonces estamos evaluando cuál de estas hipótesis nos puede aportar más para realizar el simulacro en el municipio y pudiera servirnos para saber responder ante una verdadera emergencia en un momento dado”.

HABRÁ AMBIENTE CÁLIDO Y LLUVIAS

»AGENCIAS

Veracruz.- La Comisión Nacional del Agua (Conagua) informa que para este primer fin de semana de septiembre en la zona conurbada predominará un cielo con algunos nublados. Se prevé un ambiente cálido durante el día y templado por la noche-madrugada.

La temperatura máxima rondará entre los 35 y 34 grados Celsius y la mínima es de 25 grados. Lo anterior acompañado de viento que circulará del sureste al noreste de 20 a 30 kilómetros por hora.

La probabilidad de lluvia para la noche del viernes está latente con acumulados de 5 milímetros, y este podría aumentar durante el fin de semana.

En general se invita a las y los veracruzanos a estar pendiente de las actualizaciones del pronóstico del tiempo por parte de las autoridades correspondientes, así como los avisos que pueda brindar Protección Civil estatal por efectos negativos de las lluvias.

Se acabaron los privilegios y la corrupción: Cazarín

AGENCIAS CAMPECHE

El sur-sureste mexicano es ejemplo de lo que es capaz de lograr un gobierno humanista y comprometido con los pobres, de un Presidente que ama a su pueblo; por ello, en menos de cinco años es sinónimo de progreso, inversiones, empleos, turismo, modernidad y desarrollo económico, hay rumbo y hay futuro, afirmó el diputado local Juan Javier Gómez Cazarín, presidente de la Junta de Coordinación Política, del Congreso de Veracruz.

“El combatir los privilegios de la oligarquía y la corrupción institucionalizada en el pasado permitió al gobierno de México desarrollar infraestructura trascendental a lo largo y ancho del país, pero con un énfasis especial en el sur-sureste, donde se desarrollan obras que le están cambiando el rostro a esta región, como el Tren Maya, el Aeropuerto Internacional de Tulúm, la Refinería Olmeca de Dos Bocas, el Corredor Interoceánico, el rescate de refinerías y de la red ferroviaria Chiapas-Veracruz, entre otras”, expresó Juan Javier Gómez Cazarín, tras escuchar el Quinto Informe de Gobierno.

De igual forma, formó parte del

primer recorrido del Tren Maya que partió de Campeche y que, oficialmente, entrará en operaciones en diciembre próximo, con 20 estaciones a lo largo de cinco estados, modernizando la comunicación terrestre y detonando el turismo.

La transformación, reiteró Gómez Cazarín, le está cumpliendo al pueblo de México, que en el 2018 le dijo “no” a los gobiernos neoliberales y corruptos; en cinco años, la salud y la educación dejaron de ser objeto de intereses mercantilistas para instaurarse como un derecho humano, además de que se avanza a pasos agigantados en la soberanía energética, de la red ferroviaria, puertos marítimos y posicionando al Corredor Interoceánico como una alternativa para el comercio internacional.

“El presidente López Obrador, en materia energética, ha tenido a su lado a una gran aliada y mujer de resultados, como lo es Rocío Nahle García, secretaria de Energía, logrando reducir la dependencia de hidrocarburos del extranjero, rescatando refinerías y plantas de fertilizantes, ampliando la exploración de campos en tierra y mar adentro; construyendo en tiempo récord la Refinería de Dos Bocas que ya está en su etapa inicial de produc-

ción de gasolinas, y garantizando la producción eléctrica a través de CFE”, destacó.

E indicó que los gobiernos neoliberales ya hubieran acabado con PEMEX y CFE, empresas del Estado mexicano que hoy permiten la soberanía energética y ofrecer productos a precios accesibles a la población y sectores productivos.

En lo social, dijo, el impacto de los programas gubernamentales se palpa en los bolsillos y en los hogares de millones de mexicanos; nueve millones de personas dejaron la pobreza, 12 millones de adultos mayores, más 12 millones de estudiantes de bachillerato y población con discapacidad gozan de una pensión universal, aunado a ello hay un impulso histórico al campo, a la producción de granos básicos, leche, ganadería, caña y café, al sector pesquero, encauzando a México a la soberanía alimentaria.

Los logros de este gobierno -apuntó- son interminables, lo cual es posible sólo con un Presidente que ama a su país y a su pueblo; Andrés Manuel López Obrador está haciendo historia en una nación que sólo era saqueada y hoy es motivo de orgullo y sinónimo de progreso cumpliendo su máxima: “Por el bien de México, primero los pobres”.

Sábado 2 de Septiembre de 2023 ESTADO .9 | elheraldodetuxpan.com.mx | Primera Sección
El sureste mexicano es sinónimo de progreso, inversiones, empleos, turismo, modernidad y desarrollo económico, asegura legislador
Sábado 2 de Septiembre de 2023 | elheraldodetuxpan.com.mx | 10. ESTADO Primera Sección
Sábado 2 de Septiembre de 2023 .11 ESTADO | elheraldodetuxpan.com.mx | Primera Sección

Esposa de Kevin exige aviones privados

AGENCIAS ESTADOS UNIDOS

El actor Kevin Costner deberá pagar, inicialmente, 129 mil dólares mensuales a Christine Baumgartner, para la manutención de sus tres hijos, pero aún está pendiente la decisión de boletos en primera clase y vacaciones bajo el argumento de que los niños llevan el lujo “en su ADN”.

Después de 18 años de casados, el actor y Christine Baumgartner anunciaron su separación y uno de los primeros temas fue la suma que le correspondería a la ex esposa para el cuidado de sus tres pequeños (Cayden de 16 años, Hayes de 14 y Grace de 13). La suma inicial exigida por la aún esposa del intérprete de cintas como Baila con lobos era de 250 mil dólares mensuales. La cantidad fue reducida a 175 mil dólares y la justicia ha dictaminado, por ahora, 129 mil dólares, luego de la primera audiencia realizada el 31 de agosto.

Según la revista People, el abogado de Christine, John Rydell, ha dicho a la justicia que la cifra solicitada es necesaria porque vivir un vida lujosa está “en su ADN en este momento” al hablar de los niños

The Eras Tour’ rompe récord

AGENCIAS ESTADOS UNIDOS

Taylor Swift está arrasando con su Eras Tour, el cual llegará también a la gran pantalla, una cita en los cines que ya está triunfando incluso antes de aterrizar en las salas.

antes de mencionar las actividades y deportes que practican, además de la casa que tiene a su disposición y que necesita mantenimiento.

Christine mostró fotografías de las pruebas y lloró al momento de decir que “hemos creado una gran comunidad” al hablar de su casa en Santa Bárbara que cuenta con piscina infinita, dos casas de invitados, cancha de voleibol entre otras amenidades.

Sergio y su hijo podrían iniciar proyecto juntos

AGENCIAS MÈXICO

El ganador del cuarto lugar de La Casa de los Famosos México, primera temporada, Sergio Mayer, y su hijo Sergio Mayer Mori podrían iniciar un proyecto juntos, luego de que estuvieron envueltos en rumores sobre que su relación no estaba bien.

Mayer, durante el reality show, expresó que el amor que le tiene a su hijo es incondicional, pese a todo lo que pudo haber sucedido en el pasado.

Al parecer, los famosos se dieron una nueva oportunidad, por lo que se han visto juntos en repetidas ocasiones como en el evento Kids Choice Awards 2023.

Sergio Mayer y Sergio Mayer Mori, a través de sus redes sociales, comunicaron que posiblemente realicen un proyecto musical en conjunto. Esto se comenzó a planear luego de

que el joven invitó a su papá a una transmisión en vivo en su cuenta de TikTok; ahí el actor comenzó a decir que está “muy orgulloso” de la carrera musical que tiene Mori, por lo que busca iniciar un proyecto a su lado.

Mori, mientras escuchaba a su papá, no dejó de sonreír, y luego le respondió que estaba dispuesto a realizar la colaboración porque tiene “tiempo de sobra”, además de que la idea lo pone feliz.

Mayer, al escuchar la respuesta del joven, le contestó que a lo largo de los siguientes días lo iba a ir a buscar para que platicaran tranquilamente y pueda explicarle lo que tiene planeado, pues, aunque no reveló cuál es el proyecto adelanto que tiene que ver con la música de su hijo.

Sergio Mayer, en el

Christine agregó que sus hijos están “muy conectados con el océano; es su hogar” y señaló que el garaje de surf está a 50 pasos de “los pies en el agua”. TMZ ha acusado a la aún esposa de Kevin Costner de inflar las cuentas de los gastos de los niños para obtener más dinero, esto parece provenir de filtraciones de personal cercano al actor.

live, aprovechó parta explicar que él y su hijo siempre están “juntos en mente, corazón y fuerza”. Reconoció que es verdad que se distanciaron, pero aseguró que fue por trabajo y no por temas personales.

“Sergio y yo siempre estamos conectados. Si estuvimos distanciados es porque Sergio también estaba trabajando durante varios meses pero que suerte que nos pudimos conectar”

“Ni siquiera se me había ocurrido hacer este Live contigo. Y que la gente sepa que vamos a hacer algo juntos, se lo prometo. Si Sergio me lo permite, para mí sería un gran honor que hiciéramos un proyecto juntos”

Taylor Swift: The Eras Tour se proyectará en cines AMC de Estados Unidos a partir del 13 de octubre y el 31 de agosto arrancó la preventa de entradas. Y en tan solo unas horas, el concierto pulverizó récord de venta anticipada. Así, la producción de Swift ya ha recaudado la impresionante cifra de 26 millones de dólares en preventa de entradas exclusivamente en los cines AMC. La película ha batido el anterior récord de venta de entradas en un solo día de AMC, que hasta ahora ostentaba Spider-Man: No Way Home (con 16,9 millones de dólares), y lo ha conseguido menos de tres horas después de que se pusieran a la venta las entradas, según informa la cadena de cines. Además, según informa Collider, Fandango, el servicio de venta de entradas, ha anunciado que The Eras Tour ha conseguido otro hito excepcional al establecer un nuevo récord de venta de entradas el primer día de 2023. Aunque no se han revelado cifras concretas, Fandango ha revelado que la preventa de la película está a la par de éxitos de taquilla como la mencionada Spider-Man: No Way Home, Vengadores: Endgame y Star Wars: El despertar de la Fuerza en su ritmo de venta anticipada de entradas.

Deadline pidió a un experto en distribución cinematográfica que comparara el fenómeno de Swift con otra producción, a lo que contestó: “Es como alguna película de Marvel”. Como ejemplo, el medio cita Eternals: días antes de que el filme llegara a los cines, la preventa de entradas había alcanzado los 13 millones de dólares.

Taylor Swift: The Eras Tour es la grabación del concierto ofrecido en el Sofi Stadium de Los Ángeles, aunque no ha sido confirmado. “The Eras Tour ha sido la experiencia más significativa y emocionante de mi vida hasta ahora y estoy encantada de contarles que pronto llegará a la pantalla grande. A partir del 13 de octubre podrán experimentar la película del concierto en cines en Norteamérica. Las entradas ya están a la venta”, anunció Swift en Instagram.

Para entender lo que podría recaudar Taylor Swift: The Eras Tour, Deadline cita otras películas de conciertos, como This Is It de Michael Jackson, que recaudó 23 millones en preventa y 72 millones en total; Justin Bieber: Never Say Never (29 y 73 millones) y Hannah Montana and Miley Cyrus: Best of Both Worlds Concert (31 y 65 millones).

| elheraldodetuxpan.com.mx | Primera Sección Sábado 2 de Septiembre de 2023 12. ESTILOS

Alejandra fue golpeada por Frida

AGENCIAS

MÈXICO

En las últimas horas la talentosa cantante, Alejandra Guzmán se ha robado todos los reflectores en el mundo del espectáculo después de conceder una entrevista con “Ventaneando” en la que habló sobre el distanciamiento que ha tenido en los últimos años con su hija, Frida Sofía. Durante la transmisión del pasado jueves 31 de agosto, Pati Chapoy, la titular del programa, presentó fragmentos de la plática que tuvo con Alejandra Guzmán. Uno de los momentos más fuertes fue cuando la cantante habló sobre los golpes

Filtran

que recibió de parte de su hija. Severamente conmovida, Alejandra Guzmán, hija de la primera actriz, Silvia Pinal y del cantante, Enrique Guzmán, habló sobre todo el proceso que ha vivido Frida Sofía desde que llegó a Estados Unidos y fue diagnosticada con un trastorno de personalidad. Sin guardarse nada, la intérprete de “Yo te esperaba”, “Día de suerte” y “Hacer el amor con otro” dijo que el diagnostico de Frida Sofía la llevó a automedicarse y ha protagonizar distintos actos de violencia. Fue en ese momento cuando habló de las agresiones que sufrió de parte de su hija.

Al ser cuestionada sobre si fue golpeada por su hija, Alejandra Guzmán dijo que sí, pero afortunadamente recibió el apoyo de una persona que presenció lo

ocurrido. Reiteró que no podían controlar el enojo de Frida Sofía, por lo que tomaron la decisión de salir del lugar.

“Sí. Hubo varias. Había una per-

sona y ella se encargó de sacarme de la casa. No podíamos controlarla”, contó. Cerca de romper en llanto, Alejandra Guzmán aseguró que las actitudes de Frida Sofía hacía ella forman parte de un resentimiento que surgió desde su corazón. Dijo que no se sentía con la facultad de reclamarle por todo lo que ha vivido desde su llegada a Estados Unidos.

“Es parte de un resentimiento que surge en su corazón. No soy nadie para reclamárselo”, sentenció.

¿Qué pasó con Frida Sofía y su familia?

Fue hace unos años cuando Frida Sofía concedió una entrevista en la que reveló que sufrió abuso por parte de su abuelo, Enrique Guzmán. A partir de ese momento la joven ha estado distanciada de todos los integrantes de la Dinastía Guzmán. Su madre no se cierra a la posibilidad de una reconciliación, pero hasta el momento no ha sucedido.

Peso Pluma, Yuridia e Imagine Dragons estrenan música

AGENCIAS MÈXICO

REDACCIÒN MÈXICO

Galilea Montijo, la máxima figura del “programa Hoy”, se colocó en el ojo del huracán después de que el programa de espectáculos “Chisme No Like” revelara que tiene imágenes exclusivas que la exhiben practicando brujería, uno de los escándalos que la ha acompañado a lo largo de su carrera.

A lo largo de su carrera en la pantalla chica, Galilea Montijo ha sido señalada de realizar brujería. Varios famosos e incluso uno de sus ex aseguraron que la estrella nacida en Guadalajara, Jalisco, ha participado en este tipo de prácticas, pero hasta el momento todo se ha mantenido como un simple rumor.

En su reciente participación como conductora de “La Casa de los Famosos México”, Galilea Montijo se colocó en boca de todos después de que la vedette, Niurka Marcos confesara que es experta en brujería, incluso dijo que era muy “buena” realizando este tipo de rituales.

Después de que el rumor volviera a tomar más fuerza, el programa de espectáculos “Chisme No Like” realizó una investigación en la que aseguran que Galilea Montijo sí realiza brujería. Los conductores confesaron que tienen imágenes que lo demuestran.

En este sentido, Javier Cierani, conductor de “Chisme No Like”, dijo que tenían las imágenes que muestran a Galilea Montijo haciendo brujería. El experto en temas de la farándula confesó que las pruebas son contundentes y evidenciarán a la conductora del “programa Hoy”. “Sacrificio de animales y un barrio de los más peligrosos. Galilea Montijo en acción con su brujería”, dijo el conductor al presentar las imágenes.

Durante este 2023, Galilea Montijo de 50 años se ha convertido en una de las grandes referentes del espectáculo y del entretenimiento. La conductora se ha ganado el cariño de todos con el trabajo que hace como titular en el “programa Hoy” y como parte del elenco de “Netas Divinas”.

Además de su trabajo habitual, la tapatía más famosa del país también fue parte del éxito que consiguió la primera temporada de “La Casa de los Famosos México”. Fue la encargada de conducir las distintas galas de Nominación y de Eliminación.

La mejor forma de iniciar el mes es con las novedades de viernes en Spotify, escuchando las canciones que estrenaron los artistas más escuchados en México y el mundo, entre ellos Peso Pluma, Yuridia e Imagine Dragons. Aquí toda la información.

Este fin de semana, la música latina, especialmente el reguetón y el regional mexicano, se posicionaron en las novedades de viernes en Spotify de este 1 de septiembre de 2023. Sin embargo, los estrenos de canciones en inglés no se quedaron atrás.

El reguetón es el primero de los géneros, empezar con los estrenos en la música latina de viernes en Spotify, uno de ellos es el artista mexicano de talla mundial, Peso Pluma, junto al boricua Jhayco, quienes lanzaron el tema ‘Ex-special’.

Por otra parte, el compositor y cantante de reguetón puertorriqueño, Mora, también estrenó música este fin de semana, pero en este caso, fue todo un disco con 15 canciones; se trata de ‘Estrella’.

Por otra parte, el reguetonero mexicano, El Malilla, se inspiró en una musa colombiana para crear una nueva canción con una letra atrevida. Así que, quienes quieran bailar ‘hasta abajo y sin rodilleras’ en este viernes de novedades Spotify, no se deben perder el tema ‘Karol G’.

Por otra parte, el cantante español David Bisbal consintió a su grupo de

fanáticos en este viernes de novedades Spotify con la canción ‘Tengo roto el corazón’. Por lo tanto, aquellos que sufren por la pérdida de un amor, podrán proyectarse con este tema pop. Mientras tanto, el cantante colombiano Camilo estrenó una canción pop llamada ‘Palpito’, pero esta tiene un toque diferente, pues se adaptó a otros ritmos al colaborar con el cantante de la India, Diljit Dosanjh.

En estas novedades de viernes Spotify de este 1 de septiembre de 2023, los fanáticos de la música regresarán por el tiempo debido a que famosos artistas de principios del milenio regresaron con temas sorprendentes.

La primera es la australiana Kylie Minogue con las nuevas canciones ‘Tension’ y ‘Padam padam’ que aborda géneros como la electrónica y el pop, como suele hacer la talentosa artista de 55 años de edad.

Mientras tanto, Nelly Furtado, se reunió de nuevo con el productor musical Timbaland y el cantante Justin Timberlake para crear la canción ‘Keep going up’. Quienes la escuchen, se remontarán al 2006, cuando el tema ‘No hay igual’ se volvió un éxito. Por último, y no menos importante, el grupo Imagine Dragons también sobresalió entre las novedades de viernes de Spotify en este 1 de septiembre de 2023, con la canción ‘Children of the sky’. De tal manera, solo queda disfrutar de la música estreno en este fin de semana, para empezar el mes con el pie derecho.

| elheraldodetuxpan.com.mx | Primera Sección Sábado 2 de Septiembre de 2023 .13 ESTILOS
imágenes de Galilea haciendo brujería

Popocatépetl incrementa actividad

AGENCIAS MÈXICO

El volcán Popocatépetl inició el mes de septiembre con una intensa actividad en un periodo de 24 horas, lapso en el que se registraron más de una hora de tremor, un sismo volcanotectónico y 33 exhalaciones que estuvieron acompañadas por columnas de vapor, agua y gases que se dirigieron al oeste.

De acuerdo con el reporte del Centro Nacional de Prevención de Desastres (Cenapred) de este jueves 1 de septiembre, los sistemas de monitoreo del coloso ubicado entre los estados de Puebla, Morelos y el Estado de México, detectaron un sismo volcanotectónico, con magnitud de 1.8, y 55 minutos de tremor de alta frecuencia, 13 minutos de armónico, es decir, más de una hora de movimientos característicos de un volcán por el paso de magma a varios kilómetros de profundidad.

El tremor se produce por los golpes del magma con las paredes de la cámara magmática o en el conducto de salida y por las explosiones de las bolsas de gas o los golpes de los bloques sólidos arrancados y arrastrados en el ascenso contra las paredes de la chimenea volcánica.

“En las últimas 24 horas, mediante los sistemas de monitoreo del volcán Popocatépetl, se detectaron 33 exhalaciones de baja intensidad, acompañadas de vapor de agua, gases volcánicos y en ocasiones ligeras cantidades de ceniza. Adicionalmente, se contabilizaron 65 minutos de tremor de alta frecuencia, 13 minutos de armónico y se registró un sismo volcanotectónico, con magnitud de 1.8.”, detalla el reporte del organismo científico.

EU emite certificaciones negativas contra México

AGENCIAS

MÈXICO

El Gobierno de Estados Unidos certificó negativamente por partida doble a México debido a que continúan las incursiones de pescadores furtivos de Playa Bagdad, Tamaulipas a Texas, y la falta de acciones para detener la muerte masiva de tortugas caguama en el Golfo de Ulloa, Baja California Sur.

En su informe 2023 al congreso estadounidense, la División de Pesca de la Administración Nacional Oceánica y Atmosférica (NOAA Fisheries, por sus siglas en inglés), establece que el gobierno mexicano no ha hecho nada para frenar la pesca furtiva de huachinango o pargo rojo en sus aguas territoriales, aun cuando

Alistan reformas para amarrar 4T

AGENCIAS

MÈXICO

es un problema que EU denunció en 2015, 2017, 2019 y 2021.

En consecuencia, el Gobierno de EU decidió mantener las sanciones contra el gobierno mexicano vigentes desde el 7 de febrero de 2022, que consisten en prohibir a los barcos del Golfo de México atracar o recibir recarga de combustible o algún servicio en puertos estadounidenses, además de que deja abierta la puerta para un embargo a la importación de pescados y mariscos procedentes de nuestro país.

Por otra parte, NOAA Fisheries certificó negativamente a México por la falta de un programa regulatorio equiparable que reduzca o elimine la captura incidental de tortuga caguama con redes de enmalle en el Golfo de Ulloa, Baja California

Morena y sus aliados en el Congreso anunciaron las reformas a las que darán prioridad en el nuevo periodo de sesiones.

Luisa María Alcalde, secretaria de Gobernación, adelantó que el titular del Ejecutivo enviará cuatro propuestas: militarización de la Guardia Nacional, disminuir de 68 a 65 años la edad para recibir la pensión universal, elevar a rango constitucional el programa Sembrando Vida y ampliar derechos a personas con discapacidad.

Al participar en las plenarias de los senadores y diputados de la 4T, la funcionaria pidió a los legisladores garantizar que el país tenga una Guardia fortalecida para el futuro. Estas reformas, dijo, tienen una lógica de cierre de sexenio. “No es el momento de hacer cosas

Sur. Estados Unidos recordó que, en 2015, las autoridades mexicanas establecieron restricciones a las artes de pesca, un programa de observadores a bordo de las embarcaciones menores con videograbación, un límite de mortalidad de ejemplares para decretar el cierre de actividades comerciales, y el establecimiento de un área de refugio a largo plazo, que fue suspendido porque el gobierno de nuestro país ya no presentó pruebas documentales.

Ante esta situación, la NOAA Fisheries adelantó que solicitará restricciones en los puertos para barcos con bandera mexicana y para la comercialización de pescados y mariscos mexicanos.

El Cenapred dio a conocer que la actividad registrada por el Popocatépetl se encuentra dentro de los parámetros de la Alerta Amarillo Fase 2. Los escenarios previstos para esta fase, de acuerdo con los especialistas del organismo científico, contemplan que continúe la actividad explosiva de escala baja a intermedia, lluvias de ceniza leves a moderadas en poblaciones cercanas, posibilidad de flujos piroclásticos y flujos de lodo de corto alcance.

“Al momento de este reporte debido a las condiciones meteorológicas no se tiene visibilidad.”, añade el informe del organismo científico.

Los integrantes del organismo dependiente de la Coordinación Nacional de Protección Civil (CNPC) exhortaron a la población a no acercarse al volcán y sobre todo al cráter, por el peligro que implica la caída de fragmentos balísticos; mientras que, en caso de lluvias fuertes, recomienda alejarse de los fondos de barrancas por el peligro de flujos de lodo y escombro.

Ante la caída de ceniza del coloso, las autoridades de Protección Civil solicitaron cerrar puertas y ventanas; utilizar cubrebocas o un pañuelo húmedo en caso de que las personas presenten enfermedades en vías respiratorias; no utilizar lentes de contacto; cubrir contenedores de agua; resguardar a las mascotas, así como sus alimentos; y tomar agua a lo largo de este día.

nuevas, sino reformas que permitan consolidar”, indicó.

Por separado, la secretaria de Seguridad federal, Rosa Icela Rodríguez, llamó a las bancadas de la 4T a apoyar la iniciativa para que la Sedena asuma el control de la Guardia. “Es necesario que continúe recibiendo la orientación, la formación profesional y el respaldo por parte de la Defensa”, dijo.

La secretaria de Gobernación, Luisa María Alcalde anunció un paquete de reformas cons-

titucionales que presentará el Ejecutivo federal para consolidar los cambios de la 4T, como la militarización de la Guardia Nacional, disminuir de 68 a 65 años de edad el derecho a la pensión universal, elevar al rango constitucional Sembrando Vida y derechos sociales a personas con discapacidad.

Durante su participación en la plenaria de los senadores de Morena, Verde, PT y Encuentro Social y después en la plenaria de los diputados federales de Morena, PT y Verde, Luisa María

Alcalde hizo un recuento de los logros de este gobierno, como el avance para pacificar el país. Así, Luisa María Alcalde anunció que “las personas mayores de 68 años tienen derecho a recibir por parte del Estado una pensión no contributiva en los términos que fije la Ley. En el caso de las y los indígenas y las y los afromexicanos esta prestación se otorgará a partir de los sesenta y cinco años de edad”. Añadió que el gobierno federal buscará que “quede garantizada en la Constitución la universalización de la pensión para personas con discapacidad”. La tercera reforma es “elevar a rango constitucional el programa Sembrando Vida, que consideramos importantísimo y en unos días presentaremos la iniciativa”. Luisa María Alcalde anunció que “también garantizar que la operación de la Guardia Nacional para que permita que tengamos una Guardia fortalecida, una Guardia hacia el futuro. Ya hubo una reforma que aquí se aprobó para darle esta posibilidad hasta 2028 y la idea es que pueda hacerse a través de este control operativo de la Guardia a Sedena”.

Sábado 2 de Septiembre de 2023 14. MÉXICO | elheraldodetuxpan.com.mx |

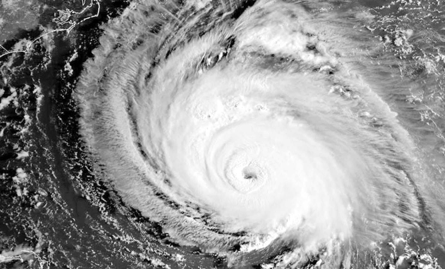
Tres fenómenos activos océano Atlántico

AGENCIAS

MIAMI, ESTADOS UNIDOS

En medio de las afectaciones por la tormenta tropical Idalia, el huracán Franklin y dos sistemas de baja presión en el mar Atlántico, el ciclón José se une a esta fuerte temporada de fenpomenos naturales con dirección al continente.

José, formada en medio del Atlántico y localizada hoy unos mil 265 kilómetros al este sureste de Bermuda aún no supone peligro para tierra, al contrario que Idalia, que en solo 24 horas dejó inundaciones y destrucción en su paso por Florida, Georgia, Carolina del Sur y Carolina del Norte.

José aún es un pequeño sistema que avanza en dirección norte con vientos máximos sostenidos de 65 kilómetros por hora y que será absorbido por el huracán Franklin este viernes, según el Centro Nacional de Huracanes (NHC) de Estados Unidos.

Franklin, un huracán fuerte y de larga duración, que tocó tierra en República Dominicana hace una semana, se aleja de Bermudas y avanza en dirección este noreste a 24 kilómetros por hora con vientos máximos sostenidos de 150 km/h.

Según el NHC, Franklin va a empezar un debilitamiento gradual en los próximos días.

En cuanto a Idalia, que tras tocar en el extremo occidental de Cuba impactó el miércoles en Keaton Beach (noroeste de Florida) con lluvia,

viento y marejada ciclónica como un huracán mayor, perdió fuerza en el paso por Georgia y Carolina del Sur.

Hoy es una tormenta tropical con vientos de

95 kilómetros por hora que va a situarse hoy sobre el Atlántico frente a la Costa de Carolina del Norte y se mueve en dirección este noreste a 33 kilómetros por hora.

locales, los vuelos con salida o destino “fueron básicamente cancelados”, dijo la autoridad aeroportuaria. Los trenes que entran y salen de Cantón también se suspendieron desde este viernes hasta la tarde del sábado.

AGENCIAS

HONG KONG/ CHINA

Decenas de millones de personas en el sur de China se preparan este viernes para la llegada del supertifón Saola, que paralizó ciudades como Hong Kong y Shenzhen, y amenaza con convertirse en la tormenta más potente de la región en siete décadas. El observatorio meteorológico de Hong Kong elevó el viernes al nivel máximo el alerta ante la llegada del ciclón.

“La alerta de huracán, nivel 10, fue emitida a las 20:15 hora local”, dijo el observatorio, que instó a la población a buscar refugio, a no salir al exterior y a mantenerse lejos de puertas y ventanas expuestas.

Según el Centro Meteorológico Nacional, podría ser el “más potente” desde 1949 en tocar el delta del río de las Perlas, que comprende varias ciudades importantes como Hong Kong, Cantón, Shenzhen y Macao. A las 15:00 horas, Saola se encontraba a 140 kilómetros al este-sureste de Hong Kong, con vientos sostenidos de 210 kilómetros por hora, lo que equivaldría la Categoría 4 de la escala Saffir-Simpson.

El supertifón podría rodear el territorio a menos de 50 kilómetros al sur, causando una tormenta alrededor de Victoria Harbour, según el observatorio de meteo-

rología. La ciudad vecina de Shenzhen, en China continental, anunció la suspensión de la actividad laboral, de negocios y mercantil desde las 16:00 y el transporte tres horas después.

“Más allá del personal de emergencia y de protección de las vidas humanas, recomendamos a la gente no salir”, dijo el departamento de emergencia de esta megaciudad de 17.7 millones de habitantes.

“La ciudad abrirá todos los refugios para que la gente se resguarde”, agregó.

En Hong Kong, el observatorio meteorológico prevé que el ciclón cause “graves inundaciones”, similares a las provocadas por el tifón Mangkhut en 2018. Ese tifón dejó más de 300 personas heridas, y en China hubo seis fallecidos y más de tres millones de personas se vieron afectadas en las provincias del sur.

Las calles de Hong Kong anochecieron casi desiertas, rociadas por una fuerte llovizna que se prevé que evolucione a intensas tormentas y vientos. En el centro financiero internacional, la sesión bursátil quedó suspendida y las escuelas retrasaron el inicio del curso escolar.

“Es mejor esperar a que pase (el tifón) antes de enviar a los niños al colegio”, según Lee que, acompañada de su hija pequeña, se apresuraba a hacer unas últimas compras.

“La gente se apresura a abastecerse de alimentos en el último minuto”, dijo el propietario de una tienda en Shenzhen, Lu Yiming.

El vecino centro de casinos de Macao también emitió su tercera alerta de tifón más grave a media tarde. Cientos de vuelos fueron anulados. A partir de las 14:00

“Va a afectar a nuestra vida”, aseguró Wu Wenlai, de 43 años, que regenta un restaurante en un suburbio de Shenzhen que tuvo que cerrar. “Mi hijo mayor tenía previsto volar hoy a Chengdu para ir a la universidad y su vuelo fue cancelado”, añadió.

El cambio climático ha aumentado la intensidad de las tormentas tropicales, con más lluvia y ráfagas más fuertes que provocan inundaciones repentinas y daños costeros, según los expertos. Saola provocó la evacuación de miles de personas esta semana al pasar por el norte de Filipinas, pero no se ha informado de víctimas por ahora.

El sur de China se ve habitualmente golpeado en verano y otoño boreal por tifones que se forman en las aguas cálidas al este de Filipinas y viajan hacia el oeste. Aunque pueden causar perturbaciones en ciudades como Hong Kong, las víctimas mortales son ahora poco habituales debido a las mejoras en los métodos de construcción y en los sistemas de gestión de inundaciones. En una playa de Hong Kong, algunos aprovecharon para surfear las grandes olas generadas por el cercano ciclón.

| elheraldodetuxpan.com.mx | Sábado 2 de Septiembre de 2023 .15 MUNDO
Hong Kong y China, se ‘paralizan’

Cabecita Rodríguez y Zendejas regresarán en el Clásico Joven

AGENCIAS

ESTO

Las lesiones en Coapa le han causado varios dolores de cabeza a André Jardine. Han sido jornadas complicadas en el esquema del técnico, pues varios de sus futbolistas más consistentes han estado fuera de circulación. Con una sonrisa en el rostro y una sensación de alivio, confirmó en conferencia de prensa que tanto Jonathan Rodríguez como Alejandro Zendejas están listos para volver a tener minutos en el duelo ante la Máquina. Las únicas bajas que habrá en su convocatoria son Henry Martín y el zaguero central Néstor Araujo.

“Es muy bueno ver la alegría de los jugadores, que están trabajando tanto tiempo para poder volver con nosotros, es contra gente. Entonces tanto Jona (Rodríguez) como Henry (Martín) y (Sebastian)

Cáceres están trabajando normal. Henry aún no está listo para jugar, se siente un poco incómodo con el gemelo, pero Jona sí, para tener minuto s y Cáceres también”, confirmó.

Muy cauteloso de la información que dio a los medios, Jardine no quiso revelar si el mediocampista de la selección estadounidense sería titular.

Lo que sí confirmo es que llevarán su proceso con calma, sin exigirle minutos de más, ya que no quieren una lesión más grave.

“Con Zendejas estamos muy atentos en cuidarlo para que no sea grave, por qué como tal no hubo una lesión. Lo que sí hubo fue un aviso de cansancio como a Henry, entonces lo haremos con cuidado”.

NO QUISO DAR DETALLES SOBRE LOS FICHAJES

La fecha para el cierre del mercado de pases en la Liga MX y en Europa está próxima a vencer. Es el próximo 13 de septiembre la fecha límite que tienen los clubes para registrar a sus nuevos elementos. Y aunque el rumor sobre una incorporación más en Coapa se dará los próximos días, el DT prefirió guardar silencio y recalcar cómo lo ha hecho en diversas ocasiones que está mentalizado en hacer rendir a su actual plantel.

“Mi respuesta sigue siendo la misma, sigo muy enfocado en los jugadores que aquí están. Claro que tengo mi opinión respecto a sí tiene que llegar alguno o no, pero no es pública, es interna. Quien toma esta decisión es la directiva, el presidente, pero a mí me queda el camino de estar enfocado en cada jugador que aquí está”,

comentó.

Hablando de su labor como entrenador, André se siente insatisfecho con el nivel mostrado por Néstor Araujo. Mismo que ha sido señalado en el interés de algunos equipos en Grecia y España, respecto a esta situación, espera que el zaguero se mantenga en América donde aún tiene una cuenta pendiente.

“Néstor no ha presentado su mejor nivel en América y él está consciente de esto. Veo un central con mucho potencial, de Selección Mexicana, queremos la mejor versión de Néstor”.

Antes de partir, reveló los detalles de la lesión que apartó a Araujo de las canchas por varias semanas, y al igual que Henry espera que esté disponible para el Clásico Nacional ante el Rebaño Sagrado el próximo 16 de septiembre.

“Néstor tiene una lesión colateral lateral (ligamento), no muy seria, pero lo limitó mucho los movimientos. No tenía la firmeza para hacer cambios de dirección, no se sentía cómodo. El departamento médico tuvo que inmovilizar su pierna para que la rodilla tuviese una estabilidad para regenerar el ligamento sin hacer ningún tipo de intervención médica. En una semana más va a estar libre para jugar”, cerró.

La directiva de Rayados informó la contratación de Jesús “Manuel “Tecatito” Corona como su último fichaje para el Apertura 2023. “Tecatito” no entró en planes del técnico del Sevilla y en el último día de transferencias en el balompié europeo, decidió dar las facilidades para que el futbolista mexicano regrese a los Rayados.

De acuerdo a medios europeos, el equipo que comanda Fernando Ortiz habría desembolsado cerca de 8.5 millones de dólares por el futbolista quien no pudo recuperar la titularidad con el cuadro español después de una grave lesión que dejó varías meses sin actividad.

El futbolista de 30 años regresa al futbol mexicano después de su paso por el viejo continente. Inició su carrera con Monterrey, también jugó con el Twente, Porto y Sevilla.

Corona sufrió una rotura de peroné y ligamentos del tobillo izquierdo en un entrenamiento del equipo que lo alejó de las canchas y que le impidió participar en la Copa del Mundo de Qatar 2022.

Desde que se presentó ese problema, Tecatito no ha recuperado su nivel y ha tenido altibajos que le impidieron recuperar la titularidad con el Sevilla.

“Tecatito” Corona fue la última ‘bomba’ de Rayados en el mercado de traspasos

Con el traspaso de Corona, Monterrey habría cerrado sus fichajes para el actual torneo. Es el equipo que más desembolsó en contrataciones sobre todo por la incorporación de Sergio Canales quien no se ha logrado consolidar en la Liga MX debido al poco tiempo que ha tenido de adaptación.

Actualmente, los regios no han tenido un buen inicio del torneo y se encuentran en el décimo sitio del certamen, además de que no pudo avanzar a la final de la Lagunes Cup y se quedó con el cuarto sitio.

| elheraldodetuxpan.com.mx | Sábado 2 de Septiembre de 2023 16. DEPORTES
ESTO
AGENCIAS
“Tecatito” dejó al Sevilla y confirmó su llegada a Rayados

Almería anunció la llegada de “El Cachorro” Montes

AGENCIAS

ESTO

En el último día del mercado de traspasos, “El Cachorro”, César Montes oficializó su salida del Espanyol de Barcelona para jugar en la primera división de España con el Almería.

Desde que se confirmó el descenso del Espanyol a la segunda división, César Montes se mostró intranquilo y expresó sus deseos por salir de los ‘Pericos’, así mismo, el mexicano fue buscado por diversos clubes e incluso se llegó a hablar de un regreso a la Liga MX con las Águilas del América, finalmente fue el Almería quien se hizo con los derechos del joven central.

El traspaso de acuerdo a Relevo. Se cerró en 14 millones de euros y el contrato será por los próximos cinco años con opción de extenderlo uno más. De esta forma “El Cachorro” Montes se mantendrá en la Primera División de España, con un Almería que apenas se salvó del descenso la temporada pasada.

”! Bienvenido, César Montes! La UD Almería acuerda con el RCD Espanyol el traspaso del defensa mexicano “. Escribió el nuevo equipo del mexicano a través de su cuenta de ‘X’. César Montes agradeció al Espanyol, equipo que lo llevó a Europa

Por otra parte, el jugador agradeció al club y confirmó que los últimos meses fueron duros debido a la incógnita de su futuro. “Mentiría si dijera que han sido meses fáciles y no es mi estilo. Han sido tiempos duros, pero eso no puede ocultar el agradecimiento que siento hacia el Espanyol por la oportunidad que me dio y a los pericos por el cariño que me demostraron “, externó a través de su cuenta de ‘X’.

Chucky Lozano estará con el PSV por varios años

AGENCIAS

ESTO

Una vez que se formalizó su regreso al PSV Eindhoven, el Chucky Lozano, se dijo emocionado por su regreso al equipo que le abrió las puertas para cumplir el sueño de jugar en Europa tras convertirse en profesional con Tuzos de Pachuca.

El mexicano tendrá su segunda etapa con el equipo granjero y espera que en esta segunda parte de la película tenga mayores éxitos. El atacante tricolor posee mayor experiencia y está comprometido en tener un buen retorno en el balompié neerlandés. En este nuevo contrato que lo vinculará al PSV hasta el verano del 2028.

Aceptó que la voz de su familia fue importante para que se diera esta vuelta al cuadro rojiblanco, con el que pudo conquistar una Eredivisie en la campaña 2017-2018, donde fue uno de los goleadores con 17 dianas.

“Ha sido el deseo de mi familia y mío volver al

PSV. Recordamos con cariño nuestra primera etapa en Eindhoven. Fue muy especial y ahora tengo muchas ganas de jugar un papel importante para el PSV esta campaña. Y hacer que mi estancia sea aún más exitosa que el primer período”, comentó.

Por su lado, el director de futbol del PSV, Earnest Stewart, reconoció que el retorno de “Chucky” Lozano es la clara muestra de que el club granjero desea sobresalir durante esta campaña 2023-2024 en la que disputará la Champions League y donde espera recuperar el trono en la Eredivisie.

“Nos dijeron hace algún tiempo que Hirving Lozano quería volver al PSV. No es fácil traer de vuelta a un jugador de la Serie A a la Eredivisie. Tiene cualidades excepcionales e incomparables, por lo que estábamos ansiosos por volver a firmarlo. Esta transferencia es el siguiente paso para hacer realidad nuestras ambiciones de tener éxito en la liga holandesa y la UEFA Champions League”, declaró el dirigente.

Kenti Robles demostró porque es la líder del Real Madrid

AGENCIAS ESTO

La lluvia mermó los planes del Real Madrid Femenil en su llegada a la Ciudad de México el jueves por la noche. Las Merengues tenían en su agenda un primer entrenamiento en Coapa posterior a su aterrizaje en la capital mexicana, sin embargo, el tránsito en las calles impidió su llegada temprana a el Nido Águila.

Este jueves a medio día, escoltadas por dos patrullas de la Secretaría de Seguridad Ciudadana llegaron a las instalaciones del América para iniciar su preparación de cara al segundo amistoso en suelo mexicano ante los monarcas de la Liga MX Femenil este domingo en el estadio Azteca.

Una sesión de calentamiento al mando de los auxiliares de Alberto Toril abrió la tarde. De inmediato el cuerpo técnico comenzó un trabajo de observación minuciosa en sus jugadoras, el tema de la altura es algo que monitorearon en todo momen -

to. La exigencia del cuadro más popular del mundo se nota desde los entrenamientos.

La felicidad de las subcampeonas de España por estar en tierras aztecas no sólo quedó en las palabras de Kenti en la sala de prensa, se reflejó en el buen ánimo que se vio en el campo. Concentración absoluta en sus rostros, y una que otra sonrisa ocasional fueron captadas por los lentes de decenas de camarógrafos desde el costado de la cancha.

Kenti Robles ha demostrado ser la líder en el Real Madrid Femenil Los ejercicios con balón completaron la práctica. Tres grupos de seis se formaron para los diversos circuitos en ataque y defensa. Sin duda la sección que se robó la atención de los medios y un par de aficionados en las gradas de la cancha Centenario fue el de la mexicana Kenti Robles, quien estuvo acompañada de la mundialista Linda Caicedo y la recién coronada campeona del mundo con España, Athenea del Castillo

| elheraldodetuxpan.com.mx | Sábado 2 de Septiembre de 2023 .17DEPORTES

HISTORIAS

DE NEGOCEOS

El presidente Andrés Manuel López Obrador inició su gobierno con un golpe de autoridad y un juramento: la cancelación del Aeropuerto de Texcoco y la austeridad. Aseguró que su administración no sería de derroches ni lujos, aunque muy pronto la realidad lo alcanzó tras revelarse la vida de ensueño de sus hijos mayores y funcionarios cercanos, los escándalos de corrupción en organismos como Segalmex y el multimillonario sobrecosto de los proyectos de infraestructura prioridad de su gobierno.

La primera de estas obras insignia fue el Aeropuerto Felipe Ángeles que se inauguró en marzo del 2022 sin un proyecto integral que incluyera vías de comunicación de acceso, conectividad con otros aeropuertos y servicios como hoteles y comercios. Por todas estas carencias las aerolíneas y los usuarios no lo ven viable y no lo usan.

Pero el Presidente insiste en trasladar paulatinamente, y contra la voluntad de las aerolíneas y los usuarios, las operaciones del Aeropuerto Internacional de la Ciudad de México al de Santa Lucía. Esta semana se publicó en el Diario Oficial de la Federación la resolución por la que se declara la saturación del AICM, con lo cual el gobierno federal fijó una nueva reducción temporal de los vuelos, los cuales pasarán de 52 a 43 operaciones por hora a partir del 28 de octubre.

Las tres principales aerolíneas del país, Aeroméxico, Volaris y VivaAerobús, advirtieron afectaciones a los pasajeros, a los trabajadores y a la conectividad del aeropuerto capitalino. La IATA –Asociación Internacional del Transporte Aéreo– pidió mayor rigor técnico y operacional ante los cambios planteados por el gobierno, además una coordinación con todos los integrantes de la industria.

Al presidente López Obrador no le importa lo que digan los organismos internacionales y tampoco las aerolíneas. Él mismo ya no vuela en aviones comerciales desde finales del año pasado por su condición de salud, los reclamos de pasajeros y la complicada logística. AMLO usa aviones privados Gulfstream de la Secretaría de la Defensa Nacional para sus giras, como la que hará este fin de semana en el sureste, donde aprovechará para dar su mensaje con motivo del Quinto Informe de Gobierno.

López Obrador siempre ha desdeñado a las aerolíneas privadas, en buena medida por quienes son sus accionistas principales –algunos considerados sus adversarios– y también porque la base de sus votantes no suele usar este tipo de transporte. La amplia clase media mexicana, que ha criticado y ha llamado “aspiracioncita”, es la que vuela en aerolíneas comerciales, como lo hacían él y sus acompañantes en los primeros tres años de gobierno.

Obligar a que los pasajeros y aerolíneas usen el aeropuerto de Santa Lucía a punta de decretos evidencia desesperación y autoritarismo. Por si fuera poco, si las aerolíneas no trasladan su oferta de vuelos al AIFA, lo único que va a ocasionar el Presidente es un aumento en las tarifas aéreas. Más inflación.

GRAN ANGULAR

En política la forma es fondo recordaba sabiamente don Jesús Reyes Heroles. Y si aplicamos la multicitada frase del icónico priista a lo ocurrido el miércoles pasado con el proceso interno del Frente Amplio por México (FAM) para designar a su candidata presidencial, encontraremos que el fondo de este este episodio fue que cambió la forma, pero no el fondo.

Así, de risa loca, pero también de decepción infinita al caer en la cuenta de que todo fue una simulación, una decisión cupular pactada antes de someterla a la ciudadana, igual que serán, por lo que alcanza a verse, la encuesta formal y sus cuatro de espejo, que encubrirán el “dedazo” presidencial que finalmente definirá a la candidata o candidato de Morena y aliados.

Vayamos por partes.

El 3 de julio pasado, día en que se anunció una desbandada de priistas encabezados por el senador Miguel Ángel Osorio Chong y que el FAM abrió el registro de participación en su proceso interno ya con formas y fechas acordadas, AMLO declaró que la candidata sería la filopanista Xóchitl Gálvez, porque desde hacía un mes lo había decidido así Claudio X. González, los de mero arriba, los que aportan dinero para la guerra sucia y los intelectuales orgánicos del grupo conservador.

“Lo que quieran apostar”, retó en la mañanera de aquel día.

Aunque la oposición aliancista había copiado a Morena el método de la encuesta, un elemento nuevo abrió una puerta de esperanza a que la decisión tendría un aval ciudadano mediante una especie de elección primaria.

Y así construyeron su narrativa: primero el registro y luego el requisito de las 150 mil firmas con presencia en al menos 17 estados del país. Xóchitl fue la que acopió el mayor número y se le otorgó el excesivo rol de fenómeno político. También salvaron el requisito Beatriz Paredes, Santiago Creel y Enrique de la Madrid para dar paso a los foros y a una encuesta que definiría a los dos finalistas. Pero De la Madrid no pasó a la siguiente fase y luego Santiago Creel declinó. Ya no había necesidad de la encuesta

para definir a los finalistas. Había que dar paso a los foros nacionales y luego a la aplicación de las encuestas entre los dos finalistas. Su resultado se conocería el domingo 3 de septiembre, mismo día en que se realizaría una elección primaria con los aproximadamente 2.2 millones de personas que se registraron para aportar firmas a sus aspirantes favoritos.

Pero al mal logrado “fenómeno Xóchitl” se le atravesó Beatriz Paredes, quien empezó a crecer en el ánimo del priismo y que valoraba la posibilidad real de ganar, si no las encuestas con un valor de 50%, sí la elección primaria con el valor del otro 50 por ciento. De manera que desde el sábado 26 de agosto se activó desde Mérida, sede del último Foro Público, el mecanismo para cancelar la elección primaria y el lunes pasado, 28 de septiembre, fecha en que se inició el levantamiento de las encuestas del FAM, el líder nacional del PRI, Alejandro Moreno sorprendió al salir a declarar que tras informes preliminares de los resultados de las encuestas era clara la ventaja de Xóchitl Gálvez y que el tricolor valoraba la posible declinación de Paredes quien respondió que ella iba a seguir hasta el final. Vino el miércoles 30 de agosto. El Frente Amplio decidió concluir ese día el levantamiento que según los acuerdos debería haber continuado hasta el domingo 3 de septiembre, día de la elección primaria, mientras que el priista Moreno Cárdenas se reunía con los presidentes locales del tricolor, para después salir a adelantar el resultado de las encuestas.

La encuestadora Wise Interactions dio a conocer que su estudio telefónico basado en mil 602 entrevistas daba 59.4% de preferencias efectivas a Xóchitl y 40.6% a Beatriz, con un dato interesante: de cada diez llamadas de los encuestadores solo dos fueron exitosas.

A su vez, Datología (consultora demoscópica ligada al Grupo Reforma), levantó mil 540 entrevistas en vivienda y obtuvo 26.6% de preferencias efectivas para Xóchitl y 20.2% para Beatriz. Más de la mitad de los entrevistados (53%) no manifestó preferencia alguna y el ejercicio tuvo una tasa de rechazo de 55%.

Con esos datos, Moreno Cárdenas bajó a Paredes de la contienda en un mensaje que parecía velorio y en el que no estuvo presente la

aspirante tricolor que, finalmente, confirmó su declinación y condicionó su permanencia en el FAM al compromiso de un gobierno de coalición y al contenido de su programa.

Con una sola aspirante en la contienda, la consulta ciudadana, la elección primaria se canceló. El FAM justificó al señalar que esos comicios podrían haber sido infiltrados por el gobierno para manipular su resultado, lo que desacreditó a su propio Comité Organizador y a su mini INE que con exconsejeros electorales en sus filas se había asumido como infalible, pero en el que se corría el riesgo real de que salieran a relucir ilegalidades en el acopio de firmas y conformación de padrón de votantes, poca capacidad logística para poner casillas en todos los distritos electorales, un enorme gasto con cargo a los partidos y, sobre todo, la imposibilidad de controlar y garantizar el triunfo de Xóchitl. Ella, pues, ganó la encuesta, pero AMLO la apuesta.

El proceso de Morena, por su parte, tampoco está exento de simulaciones. Pese a los reiterados señalamientos de López Obrador de que no meterá mano negra y que se acabó el dedazo, nadie en su sano juicio cree a estas alturas que así será.

El levantamiento de las encuestas se ha iniciado y sus resultados se conocerán el próximo miércoles 6 de septiembre. La definitiva será la que levante Moreno y las espejo quedaron a cargo de “Buendía y Márquez”, propuesta por Claudia Sheinbaum; “Rubrum”, propuesta por Marcelo Ebrard; “Focus Asesores”, propuesta de Adán Augusto López; y “De las Heras Demotecnia”, propuesta de Manuel Velasco.

| elheraldodetuxpan.com.mx | Sábado 2 de Septiembre de 2023 18. OPINIÓN
RAÚL RODRÍGUEZ MARIO MALDONADO
AMLO contra aerolíneas comerciales, en las que ya no vuela
El Frente Amplio, entre la farsa y la traición
| elheraldodetuxpan.com.mx | Sábado 2 de Septiembre de 2023 .19 COMERCIAL

Pruebas psicométricas: ¿qué son y qué tipos hay?

Las pruebas psicométricas son un elemento clave para toda empresa y sobre todo en un proceso de selección. Éstas ayudan a evaluar aspectos concretos del candidato y a realizar un mejor proceso de selección. Además, ayudan a incrementar la retención de talento y, por tanto, a reducir los niveles de rotación.

¿Qué son las pruebas psicométricas y su importancia en el proceso de contratación?

Las pruebas psicométricas son herramientas que permiten evaluar aspectos específicos de la psicología, personalidad, aptitudes y habilidades técnicas de un individuo. Estas pruebas se utilizan con frecuencia en procesos de selección de personal como apoyo de las empresas y organizaciones para elegir al candidato más adecuado para un puesto.

Incorporarlas en un proceso de selección implica identificar las habilidades y competencias necesarias para el puesto a ocupar, seleccionar las pruebas competentes, administrarlas de manera justa y objetiva, interpretar los resultados y utilizarlos como un factor más en la evaluación global del candidato.

La psicometría tiene sus raíces en el año 1870. Fue Alfred Binet, profesor de la Universidad de la Sorbona, quien implementó pruebas a petición del Ministerio de Educación francés con el fin de identificar a los niños con inteligencias superiores. Con el tiempo, las técnicas psicométricas evolucionaron y se convirtieron en una herramienta importante en el proceso de contratación. No hay que confundirlas con el cuestionario de la NOM 035, ya que este evalúa posibles riesgos psicosociales del entorno laboral recogidos en la NOM 035 STPS.

Cuando se incluyen tests psicométricos en un proceso de contratación, las empresas pueden tomar decisiones mejor informadas y llevar un registro de los perfiles de los candidatos, y más si se apoyan en un software especializado para procesos de reclutamiento.

¿Qué se mide en las pruebas psicométricas?

Las pruebas psicométricas tienen varios objetivos, entre ellos, identificar las capacidades, valores, aptitudes, habilidades, competencias, rasgos e incluso gustos de los participantes. Estos tests permiten predecir el potencial y las limitaciones de cada candidato en relación con el puesto de trabajo que desempeñará, su capacidad de crecimiento dentro de la empresa, su potencial de integración con el equipo y la filosofía empresarial.

Tipos de pruebas psicométricas

Las pruebas psicométricas se pueden

clasificar en tres categorías principales: de inteligencia, aptitud y habilidades y de personalidad. A continuación explicamos en qué consiste cada una de ellas: Pruebas psicométricas de inteligencia

Las pruebas de inteligencia están diseñadas para medir las habilidades cognitivas y mentales de una persona. Estas se utilizan comúnmente para evaluar la capacidad de aprendizaje, de razonamiento, la comprensión verbal,, la memoria y otras habilidades cognitivas.

Pruebas psicométricas de aptitudes y habilidades

Estas pruebas miden la capacidad de un individuo para realizar tareas específicas y para aprender habilidades nuevas. Por ejemplo, las pruebas de aptitud matemática miden la capacidad de una persona para resolver problemas matemáticos, mientras que las pruebas de habilidad verbal miden la habilidadde comprender y utilizar el lenguaje.

Pruebas psicométricas de personalidad

Miden la forma de ser y estilo de vida de un individuo; predicen cómo se comportará en el trabajo y evalúan su potencial para encajar con una cultura organizacional específica. Incluyen preguntas que analizan aspectos como la empatía, la autoconfianza, la capacidad de trabajar en equipo, el liderazgo, la flexibilidad, la orientación al logro, entre otros.

Ejemplos de pruebas psicométricas

Existen varios tipos de pruebas psicométricas que se pueden utilizar. A continuación mostramos algunos ejemplos de las pruebas psicométricas más empleadas.

Uno de los tests de inteligencia más utilizados es el Test de Raven, una prueba de inteligencia verbal y matemática que mide la capacidad de un individuo para analizar, comprender y resolver problemas complejos. Otro test recurrente es el de Millman, que evalúa la capacidad de un individuo para resolver problemas matemáticos y lógicos. Este consiste en una serie de problemas que deben ser resueltos en un tiempo limitado.

Dentro de las pruebas más conocidas de aptitud y habilidades está el Test de Cleaver, que mide la capacidad de un individuo para aprender y realizar tareas manuales, así como su competenciapara trabajar con herramientas y equipos. Por otro lado, el Test de Moss analiza la habilidad de un individuo para aprender aspectostécnicas, incluyendo la posibilidad deleer y comprender planos y diagramas.

Por otro lado, en el ámbito de las pruebas de personalidad, está el test de los Cinco Grandes, que mide cinco aspectos clave de la personalidad, incluyendo extraversión, amabilidad, conciencia, neuroticismo y apertura a experiencias. También está el Test 16 PF, que evalúa 16 rasgos de personalidad diferentes, incluyendo la impulsividad, la capacidad de liderazgo y la sociabilidad.

Otro ejemplo de prueba de personalidad es el SHL u OPQ32, una herramienta que evalúa 32 rasgos considerados clave para el éxito en el lugar de trabajo, como la empatía, la autoconfianza, la capacidad de trabajar en equipo, la flexibilidad, la resiliencia y la autocontrol.

Diferencia entre tests psicométricos y evaluaciones psicométricas

Existe una diferencia entre tests psicométricos y evaluaciones psicométricas. Los tests o pruebas se basan en preguntas con respuestas correctas e incorrectas, mientras que las evaluaciones psicométricas se enfocan en un cuestionario más amplio y abierto.

En las evaluaciones psicométricas, se solicita a la persona que evalúe determinados aspectos en función de sus opiniones, grado de acuerdo o desacuerdo con diferentes afirmaciones. Esta diferencia es importante conocerla para asegurarse de que se está utilizando la herramienta adecuada para evaluar a un candidato o para lograr un objetivo en particular.

| elheraldodetuxpan.com.mx | Sábado 2 de Septiembre de 2023 20. DE INTERÉS

¡Macabro hallazgo!

REDACCIÒN ÁLAMO, VER.

Habitantes de la colonia El Esfuerzo localizaron a un hombre sin vida, mismo que presenta visibles huellas de violencia, al lugar llegaron elementos policiacos para tomar conocimiento del reporte realizado.

Los hechos ocurrieron la mañana de este viernes, en un predio que se localiza sobre la calle Primero

de Mayo de la mencionada colonia, lugar donde fue reportada la localización del cuerpo de un hombre; al llegar los policías encontraron entre la maleza a un sujeto con huellas de violencia y sólo con un pantaloncillo corto.

Cabe destacar tras el llamado de auxilio, fuerzas de seguridad de los tres niveles de gobierno se trasladaron al lugar y llevaron a cabo las diligencias y recopilar datos que pudieran llevar al esclarecimiento

¡Lo detienen por traer droga!

REDACCIÒN PAPANTLA, VER.

Elementos de la Secretaría de Seguridad Pública municipal te tienen aún masculino quien portaba marihuana y cristal de metanfetamina, tras la detención fue puesto a disposición de la Fiscalía del Octavo Distrito con sede en Papantla.

De la detención se registró cuando los elementos municipales realizaban sus recorridos de prevención del delito sobre la calle Jamapa de la colonia Ampliación Emiliano Zapata, cuándo vecinos del sector mencionaron a los guardianes del orden que un sujeto merodeaba la zona sospechosamente e iba fumando un cigarrillo de marihuana.

Rápidamente los oficiales se dieron a la tarea de buscar al infractor, siendo interceptado calles adelante para enseguida realizar una inspección corporal.

Al momento de revisar una mochila que este portaba en la espalda le fueron encontrados 16 envoltorios que contenían marihuana y 13 envoltorios con cristal. En la hora detenido se identificó como Teodoro Emiliano N., Alias El cartucho, quién después de haber sido llevado a las celdas preventivas fue puesto a disposición de las autoridades, siendo la fiscalía del octavo distrito quien resolverá su situación jurídica.

REDACCIÒN

TLAPACOYAN, VER.

Luego del brutal y sangriento ataque armado en la zona de bares en el municipio de Tlapacoyan, se ha logrado identificar a los cuatro fallecidos y la persona lesionada.

Fue minutos antes de las 10 de la noche del jueves cuando sujetos armados atacaron a balazos a cinco personas que se encontraban al interior del Bar Garibaldi, lugar donde quedaron cerca de 20 casquillos perdidos de diversos calibres.

Lugar donde fue necesaria la presencia del personal paramédico de protección civil y poder brindarles los primeros auxilios, siendo atendidos dos personas del sexo masculino que aún presentaban signos vitales para ser trasladados al hospital.

Mientras que en el lugar quedaron tendidos en un charco de san-

gres tres personas quienes ya nada pudieron hacer por ellas debido a que fallecieron de manera instantánea al recibir varios impactos de bala en la cabeza.

Por lo que con el paso de la horas los fallecidos fueron como Celia L.

de este crimen.

Posteriormente, se dio el levantamiento del cuerpo y fue trasladado al Servicio Médico Forense para practicarle la necropsia de ley.

El cuerpo no llevaba ningún documento que pudiera dar con su identidad, por lo que el occiso quedó en calidad de desconocido y fueron las autoridades De Seguridad Pública Municipal, Estatal y federal, quienes emprendieron un fuerte operativo en la zona.

M., de 52 años, de ocupación empleada del bar Garibaldi, Jose Luis M. L., de 31 años, de ocupación campesino, María Felix V. E., de 59 años, Ocupación dueña del bar garibaldi

Colonia Ampliación Benito Juárez, siendo las personas que quedaron al interior del bar.

Mientras que minutos más tarde en el hospital falleció Victor H. G., de 50 años, de ocupación campesino con domicilio en la zona centro de Tlapacoyan.

Siendo el único sobreviviente quien fue identificado como Sergio I. E., de 33 años, de ocupación empleado, con domicilio en el Estado de México, quien solo recibió un impacto de bala en un glúteo.

Tras estos hechos serán las autoridades ministeriales y de la FGE las que realicen las investigaciones necesarias para dar con los responsables de este ataque armado y los motivos que lo originarios.

| elheraldodetuxpan.com.mx | Sábado 2 de Septiembre de 2023 .21 POLICÍACA
Identifican a víctimas de masacre

¡Se desmaya!

Mujer fue trasladada al hospital tras presentar problemas de salud en parque

REDACCIÒN

PAPANTLA, VER.

La mañana de este viernes fue reportada una mujer que se encontraba con problemas de salud en el parque central, por lo que cuerpos de emergencia arribaron al sitio para atenderla de manera inmediata.

Cuerpos de emergencia informaron que se trataba de una mujer de aproxima-

Localizan cadáver

REDACCIÒN COATZACOALCOS, VER.

El cadáver de un hombre fue localizado la mañana de este viernes primero de septiembre en la playa de Coatzacoalcos, generando una fuerte movilización policíaca. Hasta el momento se desconoce su identificación así como las causas de su muerte.

Se trata de un cuerpo de una persona robusta que vestía pantalón de mezclilla oscuro y una playera negra, además se encontraba descalzo, y no tenía ninguna identificación en sus bolsas. Personas aseguran que el cadáver fue visto desde anoche, aunque el reporte a las autoridades se hizo hasta hoy.

El hallazgo se registró frente a la colonia Paraíso a la altura de las oficinas de la empresa de seguros Qualitas, hasta donde se trasladaron elementos de la Policía Estatal y Municipal para acordonar la zona y dar paso

a los agentes ministeriales. Personal de la fiscalía veracruzana de hizo cargo de las diligencias y después de una hora trasladaron el cuerpo al Servicio Médico Forense (SEMEFO) de esta ciudad.

Ante el asombro de corredores y personas que, desde muy temprano acuden a ejercitarse a la playa, se desplegó el operativo y se abrió una carpeta de investigación que ayude a su identificación y dar con las causas de

Estatal “le cayó en la maroma”

REDACCIÒN

PAPANTLA, VER.

su muerte.

Se logró saber que el cuerpo había absorbido mucha agua por lo que primero se había ahogado y después el mar lo arrojó a la orilla, aunque no se confirmó si su muerte fue provocada. En este sector es el primer muerto en lo que va del año, aunque sería la cuarta persona que es encontrada sin vida cerca del mar o el río Coatzacoalcos en esta ciudad, los tres anteriores si lograron ser identificados.

Derivado del reforzamiento que realizan elementos de la Secretaría de Seguridad Pública (SSP), a través de Policía Estatal fue aprehendido un hombre por presuntos delitos contra la salud en el municipio de Papantla.

Fuerzas del orden realizaban patrullajes en el barrio de San Juan, cuando observaron a un hombre en actitud sospechosa a bordo de una camioneta

Honda, placas XBF983B.

Acto seguido, personal de SSP le marcó el alto a José Luis

“Tiraban” droga en pipa

Derivado de filtros de seguridad y recorridos, fueron capturados dos hombres por delitos contra la salud

REDACCIÒN

PAPANTLA, VER.

Derivado de los filtros de seguridad y recorridos permanentes que encabezan los efectivos de la Secretaría de Seguridad Pública (SSP), a través de Policía

damente 42 años de edad, quien responde al nombre de Celia N., la cual se encontraba caminando por el centro pero al llegar al parque Israel C. Téllez, comenzó a marearse y solicitar apoyo de los que se encontraban caminando por el lugar . Es importante mencionar que fue trasladada para su valoración aún hospital de esta ciudad.

Estatal, fueron capturados dos hombres por presuntos delitos contra la salud en el municipio de Papantla.

Oficiales de SSP circulaban en la localidad de Serafín de Olarte, cuando observaron a dos individuos a bordo de una pipa

“N” y al realizarle una revisión a sus pertenencias y la unidad le aseguraron nueve dosis de polvo blanco similar al cristal, por lo que fue puesto a disposición de la autoridad correspondiente, para los trámites de ley.

Freightliner, placas XG5840B, estacionados en dicho sector. Para verificar la información, los uniformados procedieron a realizarles una revisión a Víctor Manuel “N” y Rafael “N” y les aseguraron 14 dosis de polvo blanco con características al cristal. Los detenidos quedaron a disposición de la autoridad correspondiente, para los trámites de ley.

Sábado 2 de Septiembre de 2023 22. POLICÍACA | elheraldodetuxpan.com.mx |
En avanzado estado de descomposición fue hallado el cuerpo de hombre a orilla de playa

Muere indigente

Tirado en una banqueta y frente a una tienda pierde la vida varón en situación de calle

REDACCIÒN ORIZABA, VER.

Grave joven empresario

Tras ser atacado a balazos cuando viajaba en su motocicleta, hombre se debate entre la vida y la muerte en hospital

REDACCIÒN HUATUSCO, VER.

Tras ser atacado a balazos durante la noche de ayer jueves cuando viajaba en su motocicleta en las inmediaciones de la Colonia El Cuatro, de Huatusco, un joven hombre se debate entre la vida y la muerte al interior del Hospital General

Dr. Darío Méndez Lima de la Colonia Centro.

El herido presuntamente integrante de la Resistencia Civil Huatusco, responde al nombre de: Rafael Tepetlán y es dueño de un negocio de pizzas que se ubica sobre la avenida 2 y calle 10, de la Colonia Centro.

El ataque armado se perpetró durante la noche de ayer jueves cuando él joven circulaba en su motocicleta en calles de la colonia antes mencionada y fue sorprendido por des-

conocidos armados, quienes sin mediar palabras lo atacaron para después escapar con rumbo incierto.

El hombre malherido fue auxiliado y trasladado por paramédicos de la Cruz Roja al Hospital General ubicado en Calle 2 Poniente esquina Calle 8 Norte, donde su estado de salud es reportado como grave.

Al lugar de la agresión arribó personal de Fiscalía con Peritos y Ministeriales, quienes recogieron y aseguraron los casquillos percutidos del arma de fuego, además de que aseguraron la motocicleta del joven que quedó tirada en el pavimento.

Se conoce que, oficiales de la Policía Municipal implementaron un operativo de búsqueda y localización del o los presuntos responsables, pero lamentablemente los resultados fueron negativos.

Rescatan a 123 migrantes

Autobús de turismo choca contra auto compacto; resguardan a personas extranjeras

REDACCIÒN VERACRUZ, VER.

El Instituto Nacional de Migración (INM) identificó y brindó asistencia a 123 personas extranjeras que viajaban -la madrugada de este viernesen un autobús de turismo que chocó con un auto compacto en una zona de parcelas, en las inmediaciones de la localidad de Tlacuilolapan, municipio de Moloacán, Veracruz.

En el marco de acciones interinstitucionales de prevención del delito, elementos de seguridad nacional y estatal persiguieron y dieron alcance a un vehículo compacto que circulaba a alta velocidad por una brecha de esta región veracruzana y que en su intento por huir se impactó en la parte frontal del camión de pasajeros.

El conductor del autobús y los tripulantes de auto corrieron hacia las parcelas, entre la

Una inmediata movilización de cuerpos policiales, de rescate y de personal de la fiscalía generó el fallecimiento de un hombre presumiblemente en condición de calle en las inmediaciones de la Colonia Centro del municipio de Orizaba.

El finado respondía al nombre de Juan Domínguez, de 75 años, conocido como “El Chato” y originario del muni-

cipio de La Perla, mismo que aparentemente pertenecía al “escuadrón de la muerte”.

Ciudadanos orizabeños alertaron a las autoridades a través de los números de emergencia sobre la presencia de un hombre inconsciente en la esquina de la Calle Norte 4 y Avenida Oriente 11, del Barrio Aulicaba del primer cuadro de la ciudad.

Rápidamente al sitio llegaron oficiales de la Policía Local y Vial, así como parámedicos de PC Municipal, quienes lamen-

tablemente solo llegaron a confirmar el fallecimiento del hombre, por lo que procedieron a acordonar y resguardar el sitio siguiendo el protocolo de cadena de custodia. Minutos después al sitio llegó personal de la Fiscalía Regional, Peritos Forenses y detectives de la Policía Ministerial Acreditable, quienes tomaron conocimiento y realizaron el levantamiento del cuerpo, el cual fue enviado al Semefo Regional, para los trámites pertinentes.

oscuridad del perímetro.

Ante la presencia de decenas de personas extranjeras al interior de la unidad de transporte, el INM se presentó en el lugar y verificó que se trataba de 123 personas migrantes, entre mujeres, hombres y menores de edad provenientes de Guatemala, El Salvador, Honduras y Ecuador.

Fueron llevadas a una zona segura y ahí se confirmó que 94 conformaban 37 núcleos familiares originarios de Guatemala, El Salvador y Honduras; 22 menores de edad no acompañados de Guatemala, El Salvador y Honduras, y cinco mayores de edad solos de Guatemala y

Ecuador. Personal médico verificó su estado de salud, al tiempo de

brindarles alimentos y bebidas, como parte de las acciones de asistencia humanitaria del INM.

| elheraldodetuxpan.com.mx | Sábado 2 de Septiembre de 2023 .23POLICÍACA

BERENICE GONZÁLEZ DURAND CIUDAD DE MÉXICO,

La última vez que Sofía visitó el mar, le dijo que lo amaba. Flotaba en medio del océano. Lo que más recuerda son sus colores: una sucesión de azules turquesa. También recuerda que, de niña, acampó en esa misma playa con sus padres, le encantaba mirar el horizonte, donde estaban esas mismas tonalidades. Pero registros más precisos, sin los tintes emotivos, le dicen a Sofía que en realidad los colores del océano han cambiado.

Los científicos dicen que alrededor de 56% de los océanos han variado en su coloración, una nueva y peligrosa señal de advertencia del cambio climático provocado por el hombre, según un reciente estudio encabezado por el Centro Nacional de Oceanografía del Reino Unido y el Instituto Tecnológico de Massachussets (MIT) que analizó 21 años de observaciones satelitales.

La coloración del mar depende de muchos aspectos. La geografía, la estación del año y las corrientes marinas intervienen las tonalidades del mar en los 361 millones de kilómetros cuadrados con los que los océanos cubren a la Tierra.

Las observaciones en estas dos últimas décadas fueron registradas por el satélite Aqua de la NASA. También denominado EOS-PM 1, realiza observaciones terrestres dedicadas al estudio del ciclo del agua. Fue lanzado el 4 de mayo de 2002 a una órbita heliosincrónica de unos 700 km de altura. Actualmente permanece en dicha órbita junto a otros satélites, formando la constelación A-train. Desde su lanzamiento empezó el seguimiento de la coloración del océano principalmente con su herramienta MODIS, un espectrorradiómetro de imágenes que abarca el espectro óptico e infrarrojo.

MODIS es capaz de captar medidas en siete longitudes de onda visibles, incluidos los dos colores para estimar la clorofila. El reporte publicado en la revista Nature indica que las diferencias de color que capta el satélite son demasiado sutiles para que los ojos humanos las distingan, pero son claras ante el espectro que se divisa desde el espacio.

Para nuestros ojos, gran parte del océano parece azul, pero realmente contiene una mezcla de longitudes de onda más sutiles, desde azul hasta verde e incluso rojo.

Especialistas del Centro de Vuelo Espacial Goddard de la NASA, como la oceanógrafa Ivona Cetini?, señalan que el océano muestra una impresionante

EL CAMBIO CLIMÁTICO HA TRANSFORMADO EL COLOR DE LOS OCÉANOS

Los científicos dicen que alrededor de 56% de los océanos han variado en su coloración, una nueva y peligrosa señal de advertencia del cambio climático provocado por el hombre.

gama de colores, como resultado de la forma en que las ondas de luz interactúan con las moléculas en el agua, que finalmente evidencian los nutrientes y la vida que sustenta el océano. Una parte muy importante para detectar estos cambios tiene que ver con

el fitoplancton, las algas marinas microscópicas que viven en la capa superior del agua. El fitoplancton utiliza la clorofila para convertir la luz solar en alimento, tal cual lo hacen las plantas en la tierra. Estos microrganismos son la base de la cadena alimenticia

para estudiar el océano desde el espacio. Hay varios tipos de clorofila, pero todos absorben las longitudes de onda azules y rojas del espectro electromagnético y reflejan la luz verde. A medida que cambian las estaciones, las concentraciones de clorofila cambian naturalmente con ellas, por lo que es abundante en la primavera y principios del verano, cuando hay más luz y los nutrientes sustentan las enormes floraciones de fitoplancton.

Las diferencias regionales en las concentraciones de clorofila se deben a factores como la forma del fondo marino, las corrientes oceánicas y la disponibilidad de nutrientes. Cerca de las costas, el fitoplancton crece gracias a los abundantes nutrientes que son arrastrados al océano desde el suelo y al afloramiento de aguas frías y ricas en nutrientes desde las profundidades. El agua que tiene una mayor densidad de fitoplancton, como la de los trópicos, tiende a verse más verde; mientras que el agua con menos fitoplancton es más azul. El problema sobreviene con el rápido crecimiento de ciertos tipos de fitoplancton en aguas costeras poco profundas que puede crear proliferaciones de algas nocivas, tanto para los peces como para los humanos.

marina que sostiene organismos cada vez más complejos, desde krill, peces y aves marinas hasta mamíferos marinos.

Precisamente el pigmento verde que sustenta la vida, la clorofila, ha servido como uno de los principales indicadores

En el reporte de la NASA que forma parte de la investigación conjunta de varias instituciones publicada en Nature, Cetini? agrega que hay cambios en las dinámicas marinas que si se pueden atribuir a una más alta temperatura en los océanos que también influye en el cambio de las corrientes. Esto ocasiona escasez de fitoplancton en lugares donde es indispensable; mientras se estimula su crecimiento en otras partes, volviéndolo peligroso para la biodiversidad marina. El coral ha sido una de las especies más evidentemente afectadas por el aumento de la temperatura de los océanos. Un estudio reciente de la Administración Nacional Oceánica y Atmosférica (NOAA) señala que los océanos del mundo han absorbido el 90% del calor adicional liberado por la quema de combustibles fósiles, pero también por la tala en aumento de la superficie boscosa. El recuento del programa Coral Reef Watch de la NOAA indica que se ha perdido la mitad de la cobertura de coral desde 1950. Los satélites también comienzan a recibir pruebas de que cada vez hay más corales que se blanquean al expulsar las algas que les dan nutrientes. Pero lo peor es que el tono se está tornando café por el tejido muerto que se desprende del esqueleto, sin pasar por el blanquecino debido a las temperaturas récord de los océanos en algunas zonas.

Sábado 2 de Septiembre de 2023 24. ESPECIAL | elheraldodetuxpan.com.mx | 24. VIERNES 25 DE AGOSTO DE 2023

el Heraldo de Coatzacoalcos

el Heraldo de Coatzacoalcos

VEN INSEGURIDAD Y MENOS CORRUPCIÓN

En abril, el presidente Andrés Manuel López Obrador fijó un plazo de seis meses para mejorar las condiciones de seguridad en el país; sin embargo, para 53.2% de los habitantes, el problema de la inseguridad en el lugar en el que viven ha aumentado, lo que es sólo un punto porcentual menor a lo que pensaban los ciudadanos en el mes de marzo.

El 70.9% de las personas considera que el problema de inseguridad ha rebasado a López Obrador, y 24.2% piensa que tiene bajo control la seguridad. Dentro de los puntos favorables está la percepción de la corrupción en el gobierno, ya que ésta va a la baja con 46%.

La estrategia del gobierno de México de sólo aplicar la fuerza para combatir a los grupos de la delincuencia en algunas ocasiones divide opiniones en la población, ya que 47.8% apoya la estrategia y 46.7% que piensa lo contrario.

Aun mes del fallido operativo en Culiacán, Sinaloa, la mayoría de la población tiene una buena o muy buena opinión del Ejército mexicano, según una encuesta nacional en vivienda realizada por esta casa editorial.

Adicionalmente, el ejercicio revela que luego de lo sucedido en Culiacán y de los posteriores hechos de violencia en el municipio de Bavispe, Sonora, el Ejército es visto como una de las instituciones que más confianza genera entre los ciudadanos, solamente detrás de la familia y la iglesia.

A la pregunta: “¿La opinión que usted tiene del Ejército de México después del operativo realizado en Culiacán es muy buena, buena, mala o muy mala?”, 62.5% de los encuestados respondió que es muy buena o buena, mientras que 17.5% dijo que mala o muy mala, y 12.5% dijo que ni buena ni mala.

‘APOYAR LA CIENCIA ES APOYAR EL FUTURO DEL MUNDO

Confianza en las instituciones

Respecto a quién consideraban los ciudadanos como el principal responsable de aquel suceso en Culiacán, cuyo objetivo era detener a uno de los hijos de Joaquín “El Chapo” Guzmán,

Para la astrofísica mexicana, la pandemia ha representado una gran oportunidad para acceder a la información científica desde sitios autorizados, evitando el amarillismo y las noticias falsas.

Tras un mes del ‘Culiacanazo’ los mexicanos tienen aún una muy buena opinión del trabajo del Ejército.

23.3% de los entrevistados mencionó al presidente de México, Andrés Manuel López Obrador, seguido del secretario de la Defensa Nacional, con 21.9%.

Al preguntar sobre el desempeño de las autoridades durante el operativo, el Ejército es visto con un muy buen desempeño, con 52.7%; la Guardia Nacional, con 48.3%, y el Presidente, con 40.6%.

Para 63.9% de la población

PRIMERA SECCIÓN Viernes 25 de Agosto de 2023

PRIMERA SECCIÓN Lunes 30 de Enero de 2023

existe la percepción de que el gobierno de México está ocultando cosas de lo que ocurrió y 24.1% piensa que las explicaciones han sido insuficientes.

Durante una de sus conferencias matutinas, el Titular del Ejecutivo ordenó dar a conocer el nombre del responsable del operativo y 47.5% de la población estuvo de acuerdo con esa acción.

Sábado 2 de Septiembre de 2023 .25 ESPECIAL | elheraldodetuxpan.com.mx | 26.26.
Viernes 31 de Julio 2020 heraldodecoatzacoalcos.com.mx 10. DE COATZACOALCOS Martes 26 de Noviembre 2019 heraldodecoatzacoalcos.com.mx 12. DE COATZACOALCOS
EL UNIVERSAL CIUDAD DE MÉXICO

PRIMERA SECCIÓN Lunes

PRIMERA SECCIÓN Viernes 25 de Agosto de 2023

el Heraldo de Coatzacoalcos

el Heraldo de Coatzacoalcos

Mexicanos perciben una mejora en calidad de vida

Encuesta: 48% percibe mejor calidad de vida que hace un año; considera 51% que su dinero le alcanza sin dificultades.

EL UNIVERSAL CIUDAD DE MÉXICO

De acuerdo con la más reciente encuesta de EL UNIVERSAL, realizada del 6 al 11 de noviembre, 51.2% de la ciudadanía considera que la actual situación económica, personal y familiar, les alcanza justo, sin grandes dificultades, lo que representa un crecimiento con respecto a lo que se percibía en marzo (43.2%).

Las personas entrevistadas piensan que los principales problemas que afectan al país son la inseguridad (41.8%), corrupción (11.1%), pobreza (8.7%), y la crisis económica (8.7%).

Al cuestionar si se encuentra satisfecha con su calidad de vida, la población encuestada le da una calificación de 7.66, menor a la que se le otorgaba en la anterior medición, realizada en agosto pasado; sin embargo, aún es favorable.

La opinión de la ciudadanía

respecto a su calidad de vida permanece en niveles propicios desde el inicio de la administración del presidente Andrés Manuel López Obrador: 48.4% percibe que es mucho mejor que hace 12 meses.

Sobre lo complicado que es conseguir empleo en su estado, se observa una evolución positiva: en la primera medición, hecha en marzo, 64.1% consideraba que era muy difícil y difícil; en la encuesta realizada en noviembre, la cifra pasó a 57.8%.

A pesar de que en semanas previas el Instituto Nacional de Estadística y Geografía (Inegi) estimaba un crecimiento económico de 0.1% en el país durante el tercer trimestre, 27.7% de los participantes observó que tiene un aumento en su ingreso familiar en los primeros 12 meses de la administración encabezada por la Cuarta Transformación.

En tanto, el acceso a clínicas y hospitales cuando lo necesita es percibido por 51.9% de las personas como muy fácil y

fácil. Al consultar a los entrevistados, la calificación de algunos aspectos de la asistencia médica que reciben cuando tienen que acudir le otorga una

calificación de 6.55 a la calidad del servicio; 6.13, a la disposición de medicinas, y 6.71, a la atención recibida.

Para 63.9% de las personas

que participaron en la encuesta, la condición de desigualdad que se vive en el país actualmente continúa siendo muy alta y alta.

Sábado 2 de Septiembre de 2023 26. ESPECIAL | elheraldodetuxpan.com.mx | .27 .27 Viernes 31 de Julio 2020 heraldodecoatzacoalcos.com.mx .11 DE COATZACOALCOS Lunes 25 de Noviembre 2019 heraldodecoatzacoalcos.com.mx .13 DE COATZACOALCOS
30
de Enero de 2023
Sábado 2 de Septiembre de 2023 .27 ESPECIAL | elheraldodetuxpan.com.mx | 16. PRIMERA SECCIÓN Lunes 30 de Enero de 2023 el Heraldo de Coatzacoalcos PRIMERA SECCIÓN Viernes 25 de Agosto de 2023 el Heraldo de Coatzacoalcos 28.
Sábado 2 de Septiembre de 2023 28. ESPECIAL | elheraldodetuxpan.com.mx | .29 .17 PRIMERA SECCIÓN Lunes 30 de Enero de 2023 el Heraldo de Coatzacoalcos PRIMERA SECCIÓN Viernes 25 de Agosto de 2023 el Heraldo de Coatzacoalcos

GLORIA CALZADA

‘ENVEJECER ME VALE MADRE; AHORA TENGO MÁS EXPERIENCIA’

A sus 58 años, la comunicóloga jalisciense no demoniza las redes sociales; llama a jóvenes y adultos a no descalificarse con etiquetas como ‘millennials’ o ‘chavorrucos’, y asegura que, de poder, daría consejos a la joven que fue.

Sábado 2 de Septiembre de 2023 .29 ESPECIAL 30.30. Viernes 31 de Julio 2020 heraldodecoatzacoalcos.com.mx 22. DE COATZACOALCOS Lunes 27 de Abril 2020 heraldodecoatzacoalcos.com.mx 22. DE COATZACOALCOS Miércoles 15 de Enero 2020 heraldodecoatzacoalcos.com.mx 26. DE COATZACOALCOS
PRIMERA SECCIÓN Lunes 30 de Enero de 2023 el Heraldo de Coatzacoalcos PRIMERA SECCIÓN Viernes 25 de Agosto de 2023 el Heraldo de Coatzacoalcos

el Heraldo de Coatzacoalcos

PENSIÓN AL ALZA

EL UNIVERSAL CIUDAD DE MÉXICO

Como cada año, la Ley del Seguro

Social registra cambios o modificaciones. Una de ellas —y que entró en vigor este 1° de enero de 2023—, es la modificación al costo de la Modalidad 40, la cual muestra un incremento en sus cuotas a partir de este año y hasta 2030.

Juan Antonio Bravo Rodríguez, gerente del área de pensiones y afore de Grupo Pensar, señala que esta modalidad es un derecho que tiene todo trabajador para sumar semanas

de cotización mediante aportaciones voluntarias y así poder mejorar los promedios salariales y, en su caso, obtener una mejor pensión.

“Todo trabajador está dentro del derecho a solicitar la modalidad 40, siempre y cuando no hayan pasado cinco años desde su última baja del sistema obligatorio del IMSS, pero si ya pasaron esos cinco años desde su baja, para obtener ese derecho de nuevo, deberá ser registrado por un patrón y tener cotizadas mínimo 52 semanas”, afirma el experto.

MODIFICACIONES A CONSIDERAR

Para el gerente del área de pen-

siones y afore del Grupo Pensar, la modificación en el artículo 168, fracción II, inciso A, es la que fundamenta el incremento en las cuotas patronales: las que pasarán del 3.150% (31 diciembre de 2022), al 11.875% a partir del 1° de enero de 2023; y, de acuerdo con el artículo segundo transitorio, estos cambios se realizarán gradualmente, cada año. “El salario diario de cotización del 2022 para el pago de la modalidad 40 era de $2,404.50 (25 UMAS- Unidad de Medición y Actualización), y, a partir del 1° de enero de 2023 hasta el año 2030, la cuota patronal de los ramos de cesantía en edad avanzada y vejez, se incrementará gradualmente del 3.150% hasta el 11.875%.

“No hay que olvidar que el porcentaje de la aportación depende de los ingresos de cada trabajador, desde el 3.150% del salario base de cotización para trabajadores con un ingreso de un salario mínimo hasta 11.875%, para trabajadores con ingresos de 4.01 UMA en adelante. Esto incrementa el costo de la Modalidad 40 pues, bajo este esquema, el asegurado paga

tanto el porcentaje correspondiente al patrón, así como el del trabajador. Sobre el salario base que se eligió para cotizar, a partir de 2023 hasta 2030, aumentará la cuota patronal; el pago de la Modalidad 40 también incrementará cada año, asegura Juan Antonio Bravo Rodríguez.

PROS Y CONTRAS Para Bravo Rodríguez, esta modificación afecta al trabajador pues tendrá que pagar las cuotas correspondientes al patrón, así como pagar cuotas más altas que se incrementarán cada año y, la pensión que se calcule de un inicio, será la misma durante los años que decida pagar la Modalidad 40, que puede ser desde un año, hasta los siguientes cinco. En cambio, al patrón ni le beneficia ni le perjudica la reforma, porque para tener el derecho a inscribirse a la Modalidad 40, el trabajador tiene que haber causado baja del sistema obligatorio.

“En base a mi experiencia, las modificaciones a la Modalidad 40 de la Ley del Seguro Social son buenas reformas, pensadas para beneficiar a los trabajadores de la ley del 97, ya que ayuda a obtener un mayor ahorro y, de esa forma, una mejor pensión. Sin embargo, a los trabajadores de la ley 73, les repercute en una aportación mayor que se incrementará año

con año hasta 2030 sin que esto incremente su pensión. Lo importante en este tema, es informarse de manera profesional para tener un panorama real de lo que puede aspirar y, de esa manera, tomar una mejor decisión”, concluye el experto.

A TOMAR EN CUENTA

El especialista en pensiones y afores nos da el siguiente ejemplo, considerando el salario tope de 25 UMAS y el pago mensual a realizar sobre 31 días, quedando de la siguiente manera y cuando, en 2022, era de 7,512.98 pesos.

2023: $8,326.54

2024: $9,139.36

2025: $9,952.92

2026: $10,766.49

2027: $11,579.31

2028: $12,392.87

2029: $13,205.69

2030: $14,019.25

Ejemplo en porcentajes del incremento autorizado para los siguientes ocho años, cuando en 2022 era de 10.075%

2023= 11.166%

2024= 12.256%

2025= 13.347%

2026= 14.438%

2027= 15.528%

2028= 16.619%

2029= 17.709%

2030= 18.8%

Sábado 2 de Septiembre de 2023 .31 ESPECIAL | elheraldodetuxpan.com.mx | 24. LUNES 30 DE ENERO DE 2023
La modificación afecta al trabajador pues tendrá que pagar las cuotas correspondientes al patrón, así como pagar cuotas más altas que se incrementarán cada año.
.25
PRIMERA SECCIÓN Viernes 25 de Agosto de 2023

LOCALIZAN CADÁVER

¡MACABRO HALLAZGO!

Hombre fue encontrado muerto en zona montosa; presentaba varios impactos de bala, en Álamo. PASE A LA 21

MUERE INDIGENTE

Tirado en una banqueta y frente a una tienda pierde la vida varón en situación de calle, en Orizaba. PASE A LA 23

¡SE DESMAYA!

Mujer fue trasladada al hospital tras presentar problemas de salud, en pleno parque, en Papantla. PASE A LA 22

Sábado 2 de Septiembre de 2023 www.elheraldodetuxpan.com.mx El
@Heraldo_Tuxpan
Heraldo de Tuxpan
En estado de descomposición fue hallado el cuerpo de hombre a orilla de playa, en Coatzacoalcos.
PASE A LA 22

Turn static files into dynamic content formats.

Create a flipbook
Issuu converts static files into: digital portfolios, online yearbooks, online catalogs, digital photo albums and more. Sign up and create your flipbook.