El Heraldo de Tuxpan 15 de Agosto de 2023

Page 1

APRUEBAN CORTE DE CAJA DEL MES DE JULIO

También modificaciones presupuestales, estados financieros y el reporte de obra pública de julio.

DAÑADA, COSECHA DE ELOTES

Altas temperaturas y falta de agua ocasionaron el cocimiento de la semilla, dañando la producción de los agricultores.

ADÁN SALE EN DEFENSA DE LIBROS DE TEXTO GRATUITO

Desmintió que lleven contenido comunista.

Confirma Fiscalía

NO SON 34, PERO SI MÁS DE 13, LOS CUERPOS DESMEMBRADOS

Verónica Giadáns quiso minimizar cifras dadas por los medios, pero se ganó severas críticas ante imparable ola de violencia.

SE VAN

A PARO

NACIONAL

Demandarán mayor seguridad en carreteras del país

PUENTE FERROVIARIO COLAPSA EN NORUEGA

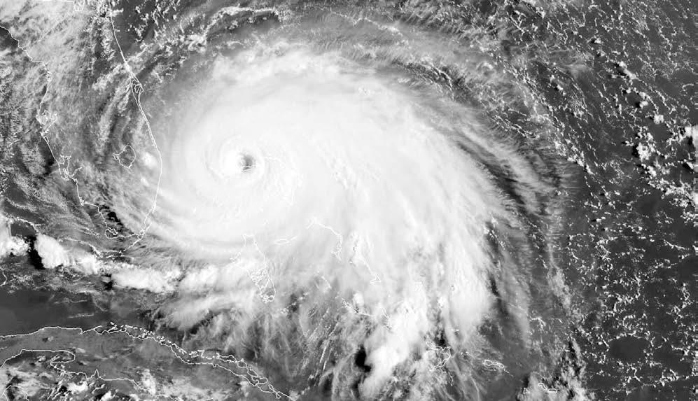
HURACÁN ‘FERNANDA’

ALCANZA CATEGORÍA 4

Directora Editorial: Lic.
| elheraldodetuxpan.com.mx | | MARTES 15 DE AGOSTO DE 2023 | AÑO XIX No 5917 $9.00 G R U P O E D I T O R I A L DE VERACRUZ ESTADO · PAG 2 ESTADO · PAG 9 TUXPAN · PAG 3 NACIONAL · PAG 14 INTERNACIONAL · PAG 15
Julia Méndez Campos Director General: Lic. Francisco Sánchez Macías
TUXPAN · PAG 5 TUXPAN · PAG 4

»REDACCIÓN

CDMX.- Con pasión y argumentos, Adán Augusto López Hernández envió esta tarde un poderoso mensaje en defensa de los libros de texto gratuitos y denunció la presencia de “una embestida, de una estrategia malvada y perversa de los conservadores, de la derecha más rancia e inmoral de este país en contra no solo de los textos, si no del acceso a la educación de las niñas y niños de México, a quienes pretenden mantener en la ignorancia.

Acusó que en esta embestida están confabulados gobernadores como la de Aguascalientes, Teresa Jiménez, quien desconoce que en su estado hay comunidades indígenas, y la de Chihuahua, Maru Campos, “la más rancia representante del conservadurismo”, con ministros también conservadores que defienden los intereses de las oligarquías.

“Son unos insensibles, Lo que quieren es que nuestros niños, los

Adán sale en defensa de Libros de Texto Gratuito

niños pobres del país, no tengan acceso a la educación. Lo prefieren porque esa ha sido la historia de los conservadores: tener a los niños en la ignorancia”, afirmó el aspirante a la Coordinación para la Defensa de la Cuarta Transformación, quien es el único de los seis delegados nombrados por Morena que ha dado una férrea defensa a la embestida de la derecha en contra de la educación pública.

El mensaje del político tabasqueño en este su día número 57 de recorrido nacional, fue sólido y contundente, y tras proclamar “larga vida a los libros de texto gratuitos”, advirtió que “no van a pasar; no se van a salir con la suya” y menos con mentiras como que estos textos “tienen contenido comunista y solo

Visita embajador Wilfred Mohr, recinto del puerto

»AGENCIAS

Veracruz.- El recinto del puerto de Veracruz recibió la visita del embajador del Reino de los Países Bajos, Wilfred Mohr, lo que servirá para establecer oportunidades de negocio e inversión.

La Administración del Sistema Portuario Nacional Veracruz (Asipona), confirmó la visita del embajador junto a su equipo diplomático, dónde se le presentaron proyectos actuales y futuros del puerto.

Sumado a lo anterior, se hizo un recorrido por la bahía sur y norte, incluyendo el mirador Rompeolas Poniente, en dónde se destacó que se trata del más largo de América Latina.

La Administración del Sistema Portuario afirmó que este encuentro con el embajador Wilfred Mohr, es una forma de estrechar lazos entre el puerto de Veracruz y el Reino de los Países Bajos.

Julia Méndez Campos

sirve para pervertir a las niñas y niños de México”. Con uno de esos libros de texto en la mano, el de matemáticas para el quinto grado de primaria, Adán Augusto López Hernández desmintió dicho contenido comunista y dijo que, posiblemente, es el libro con los mejores contenidos que se hayan hecho en la historia de México, pero los conservadores y quienes forman parte de la derecha más rancia de este país, en su ignorancia, no se atreven ni a leerlo”.

Así continuó con la parte introductoria del libro que llevaba en mano y que corresponde a un texto del poeta andaluz Federico García Lorca, quien en su tiempo escribió: “No sólo de pan vive el hombre. Yo, si tuviera hambre y estuviera des-

MONTAN OPERATIVO EN BARES Y CANTINAS

»AGENCIAS

Xalapa.- Siguiendo el esquema preventivo que ha impulsado la Secretaría de Seguridad Pública (SSP), a través de Policía Estatal y Fuerza Civil en coordinación con fuerzas federales, se realizó este fin de semana el Operativo Bares y Cantinas con el objetivo de inhibir el delito, inspeccionando a un total de dos mil 457 personas.

En coordinación con elementos de las Secretarías de la Defensa Nacional (SEDENA), Marina (SEMAR) y fuerzas municipales de viernes a domingo fueron supervisados 292 bares en todo el estado.

En la zona norte se llevaron a cabo acciones en seis municipios, realizando revisiones a 708 personas, en 79 negocios. Mientras que en el centro del

valido en la calle no pediría un pan; sino que pediría medio pan y un libro…”, un hombre, dijo el tabasqueño, que fue asesinado por pensar diferente y desear un mundo mejor para los suyos, para los humildes”. En el jardín central de este municipio mexiquense de Cuautitlán, antes cientos de madres de familia, mujeres, hombres y adultos mayores, Adán Augusto López Hernández dejó en claro que “la Cuarta Transformación 4T va a seguir luchando por lo libros de texto gratuitos, para que estos lleguen a los niños y las niñas mexicanas, y, sobre todo, mantendrá la defensa de la educación pública, laica y gratuita en México”.

Garantizó que la Cuarta Transformación saldrá adelante en

estado implementaron las inspecciones en 15 municipios (94 establecimientos) y realizaron revisiones a mil 181 personas.

Finalmente, en 12 municipios de la zona sur, efectivos estatales y de Fuerza Civil acudieron a 119 locales dedicados a la venta y consumo de alcohol e inspeccionaron a 568 personas.

Cabe señalar que los uniformados realizan el Operativo Bares y Cantinas en apego a los derechos humanos y con

esta disputa que ni siquiera se inscribe en un terreno ideológico, sino que es “pura politiquería de los conservadores y la derecha más rancia que existe en el país”.

ediciontuxpan@hotmail.com CONTACTO REDACCIÓN diariotuxpublicidad@hotmail.com

Gerente Administrativo

el propósito verificar que los asistentes no porten armas de ningún tipo, además de evitar la venta y consumo de estupefacientes, lo que derive en conductas delincuenciales.

La SSP pone a disposición de la ciudadanía, la línea de emergencias 911 y 089 en el caso de las denuncias anónimas y exhorta a la población a seguir las recomendaciones que emitan las autoridades.

Martes 15 de Agosto de 2023 Primera Sección 2. LOCAL
CONTACTO PUBLICIDAD G R U P O E D I T O R I A L DE VERACRUZ | elheraldodetuxpan.com.mx |
Lic.
Director
Lic.
Lic.
El Heraldo de Tuxpan es una publicación de lunes a sábado. Editor responsable Ing. Eduardo Sánchez Macías. Número de Certificado de Reserva de Derecho al Uso Exclusivo del título 04-2016062417532400-101. Certificado de Licitud de Título: 16764. Certificado de licitud de contenido 16764. Domicilio de la publicación, impreso y distribuido por Editora Sánchez S.A. de C.V., con domicilio en 15 de Septiembre No. 7 Col. La Rivera, Tuxpan, Veracruz. C.P. 92800 TEL. 01 (783) 834 16 73 y 01 (783) 835 58 34. Jefe de Redacción Lic. Misael Leyva Julio Jefe de Información Lic. Teresa de Jesús Blasco Ramírez Jefe de Diseño y Producción LCC Rafael Melgarejo Escudero
Flor Parrilla Silva
General
Francisco Sánchez Macías Directora Editorial
Desmintió dicho contenido comunista

REDACCIÓN

TUXPAN

Los integrantes del cuerpo edilicio analizaron y aprobaron por unanimidad el Corte de Caja correspondiente al mes de julio del ejercicio fiscal 2023, en Sesión Ordinaria de Cabildo celebrada este lunes.

Así mismo, en una segunda Sesión Ordinaria, sometieron a análisis y fueron aprobadas de manera unánime las modificaciones presupuestales, los estados financieros, y el reporte de Obra Pública que corresponden

Aprueban corte de caja del mes de julio

al mes de julio del ejercicio fiscal 2023.

En ambas sesiones participaron el presidente municipal José Manuel Pozos Castro; la síndica única Beatriz Piña Vergara; las regidoras y los regidores Amado Gutiérrez Lima, María del Pilar Martínez Matesanz, Maryanela Monroy Flores, Anahí Aguilar López, Juan Gómez García, Lucero Reséndis Ambrocio, Luis Demetrio López Marín, Axel Bernal Herrera y Luciano Folgueras Pioli; así como el secretario del Ayuntamiento, Lic. José Armando Huesca Ovando.

Rodada por la Salud 15 Km

Tendrá lugar el próximo sábado 19 de agosto

AGENCIAS TUXPAN

URGE VIGILANCIA EN LOS MERCADOS

Para inhibir los actos delictivos de los famosos carteristas

REDACCIÓN TUXPAN

Locatarios del Mercado Municipal “Enrique Rodríguez Cano” siguen insistiendo con los recorridos por parte de los elementos de seguridad al interior de dicho inmueble, con la finalidad de inhibir cualquier acto delictivo, toda vez que en este periodo vacacional de verano se han detectado personas sospechosas en el inmueble, y este lunes se reportó el robo de un bolso a una mujer que realizaba sus compras en el lugar.

Por lo anterior, piden que se haga caso a su solicitud, ya que no sólo en las

vacaciones de Semana Santa o de Fin de año llegan los famosos carteristas, sino también en verano y hasta los fines de semana, ya que el municipio de forma frecuente recibe turismo, y eso motiva a los delincuentes a hacer acto de presencia en este tipo de lugares.

Destacaron que, aunque es el primer robo que se reporta durante este periodo, lo idea es evitar que estas cosas se registren y afecten a los visitantes al mercado, por lo que ha insistido en contar con rondines de vigilancia el interior del inmueble, pero hasta estos momentos la petición no ha sido atendida por la Secretaría de Seguridad Pública.

Cabe señalar que, en el Mercado Héroes del 47, también han solicitado este tipo de acciones, y aunque el municipal por estar la zona centro es el más concurrido, los ciudadanos tuxpeños y turistas también acuden al otro mercado a consumir alimentos o a realizar sus compras, y en periodos vacacionales anteriores se han presentado robos por parte de los carteristas, afectando a un buen número de personas, principalmente del sexo femenino.

Para incentivar a la ciudadanía a realizar una actividad física que les permita tener una mejor salud; el H. Ayuntamiento de Tuxpan que encabeza el alcalde José Manuel Pozos Castro, y la Secretaría de Salud y Servicios de Salud de Veracruz invitan a participar en la “Rodada por la Salud 15 km”, que se realizará el próximo sábado 19 de agosto.

La salida es a las 9:00 de la mañana, teniendo como punto de partida y meta la Unidad Deportiva. Los ciclistas pedalearán por todo el bulevar, retornando en la esquina del Blvd. Maples Arce con la calle Díaz Mirón.

El registro se realizará en el orden en que los participantes vayan llegando, en las mesas de inscripción que estarán instaladas en la unidad deportiva, donde deberán llenar un formato con su nombre completo y datos generales. Pueden participar personas de 15 años en adelante.

Se recomienda a los participantes desayunar mínimo 2 horas antes, hidratarse bien antes y durante la rodada; realizar calentamiento antes salir a rodar; revisar el funcionamiento de la bicicleta; usar casco de manera obligatoria, así como ropa y calzado deportivo, y utilizar protector solar.

Primera Sección Martes 15 de Agosto de 2023 .3 LOCAL | elheraldodetuxpan.com.mx |
También se aprobaron las modificaciones presupuestales, los estados financieros y el reporte de obra pública de julio

REDACCIÓN

TUXPAN

Los días 28 y 29 de agosto los transportistas adheridos a la Alianza Mexicana de Organización de Transportistas, Amotac, se unirán al paro nacional que realizará la organización para demandar mayor seguridad en carreteras del país, puesto que aseguran que, con el ingreso de la guardia nacional, ya no hay operativos como lo hacía extinta Policía Federal de Caminos.

Luis Gallardo; líder en Tuxpan de la AMOTAC, indicó que esta manifestación se hará a nivel Nacional, por temas que se necesitan tratar y que se han suscitado como son de la Secretaría de Comunicaciones

Transportistas se van a paro nacional

Demandarán mayor seguridad en carreteras del país

y Trasportes, la inseguridad que los aqueja en las vías de comunicación de todos los estados de la República Mexicana, pedirle a la Guardia Nacional que haga más operativos, que ponga mayor cuidado en la gente que anda trabajando en las carreteras del país, con el objetivo de que la

Asueto en Ciudad Judicial

Por la fiesta patronal del municipio

»REDACCIÓN

TUXPAN.- Personal de los juzgados en la Ciudad Judicial, gozan de días de asueto nuevamente este lunes y martes 14 y 15 de agosto, toda vez que en su contrato de trabajo se establece el descanso de dos días durante su actividad tradicional, y aunque muchos pensarán que la tradición en Tuxpan es el Carnaval, lo cierto es que la Expo Tuxpan con su fiesta patronal de la Virgen de la Asunción es la que se marca desde hace muchos años como la de mayor arraigo entre los ciudadanos.

Por lo anterior, aunque los jueces estarán activos, es el personal de las oficinas los que tienen su descanso, y al ser quienes brindan

inseguridad se termine y ellos pueden seguir trabajando como lo habían venido haciendo, para evitar más pérdidas a este sector.

Hizo el llamado a todos los compañeros que viven del transporte a sumarse a esta movilización pacífica, para poder ser escuchados por las autoridades,

porque aseguró que es necesario que la Guardia Nacional y todas las autoridades pongan más cuidado a todo lo que pasa en el país.

Dijo que independientemente del tema del transporte, también aprovecharán para demandar cuestiones que les afectan aquí en Tuxpan, como

Buena respuesta al curso de bibliotecas

Niños y adolescentes acudieron al llamado

»REDACCIÓN

TUXPAN.- Una muy buena respuesta obtuvo el curso de “Mis vacaciones en la biblioteca”, impulsado por el gobierno municipal, tanto en la zona centro de la ciudad como en la congregación de Santiago de la Peña, señaló la titular de museos y bibliotecas municipales, Marisol Miquelajauregui.

por ejemplo las tarifas eléctricas, que se reduzca el cobro, que baje el servicio del agua y que envíen el vital líquido, entre otras necesidades.

Señaló que su organización en esta zona tiene más de 200 agremiados como taxistas, urbanos, tráiler, torton, entre otros.

redes sociales, vicios y adicciones. Afirmó que superaron las expectativas que tenían en comparación de años anteriores, que entienden que por la pandemia la población no tenía la confianza de permitir que sus hijos acudieran a ciertos lugares y hoy con mayor oportunidad, lograron rebasar las metas.

La directora de museos y bibliotecas informó que recibieron a niños de otros lugares, como la Ciudad de México, pequeños que vinieron a pasar sus vacaciones a Tuxpan, se enteraron de los cursos y talleres que estaban llevando a cabo y decidieron inscribirse, porque en su lugar de origen es difícil tener acceso a este tipo de actividades y sobre todo gratuitas, como las que se brindan en este municipio.

la atención primaria, dichas oficinas no estarán laborando hasta el miércoles 16 de agosto en sus horarios habituales.

Por su parte los abogados que diariamente acuden para dar seguimiento a sus casos en cada juzgado señalaron cada año se lleva a cabo esta suspensión durante la Expo Tuxpan, por lo que ya lo esperaban y sabían de la suspensión, sin embargo, otros ciudadanos desconocían que se laboraría en tales oficinas.

Todo ello se reconoce dentro de los logros sindicales, y aunque sería preferible para los usuarios de la Ciudad Judicial que se laborara sin interrupciones para resolver los diversos asuntos, se tienen que respetar dichas cuestiones.

Cabe recordar que recientemente se trabajó con guardias todo un mes, debido a que los empleados gozaron del periodo vacacional de verano, y el próximo será en las de fin de año, donde de nueva cuenta se trabajará con guardias en las oficinas de juzgados de la Ciudad Judicial de este municipio, que atiende a otros de la región norte de la entidad.

Dijo que poco a poco van logrando inculcar una cultura de la lectura como una constante en la vida de los ciudadanos tuxpeños, sobre todo en niños y adolescentes, para alejarlos poco a poco de los celulares, tecnología,

La funcionaria informó que continúan recabando libros, por lo que invita a la población en general a sumarse a esta campaña de donación de libros, que no tienen que ser nuevos, pero si en buen estado, para que puedan ser leídos y ocupados en las bibliotecas municipales.

LOCAL Martes 15 de Agosto de 2023 4. | elheraldodetuxpan.com.mx | Primera Sección

REDACCIÓN TUXPAN

Con mucha tristeza productores comenzaron a cortar las plantas de maíz, que lamentablemente no se desarrollaron por falta de agua, perdiendo su cosecha de este año y toda la inversión y esfuerzo humano que pusieron para sembrar su milpa.

Los daños relacionados con el agua son de los principales problemas a los que se enfrentan los agricultores, ya que dependen del temporal de lluvias, y las temperaturas tan altas que se presentaron, dañaron al campo tuxpeño.

“Las temperaturas altas ocasionaron el cocimiento o apozolamiento de la semilla sembrada, por lo que la planta no se desarrolló como debía, por consecuencia el elote no tuvo granos, lo que origina que tampoco haya maíz, por lo que esta planta se tiene que cortar y quizás se pueda vender para alimento de ganado”, comentó un agricultor.

Expertos extensionistas consultados, informaron que el origen de estas anomalías se ha atribuido en su mayoría, a condiciones ambientales adversas como altas tempe -

Productores pierden cosecha de elotes

Altas temperaturas y falta de agua, ocasionaron el cocimiento de la semilla, dañando la producción

raturas y estrés por sequía, pero también pueden surgir por deficiencias de nutrientes, daños por plagas o enfermedades, e incluso por malas aplicaciones de agroquímicos.

Mencionaron que es común encontrar en plantaciones de

maíz diversas malformaciones en las mazorcas, las cuales afectan el rendimiento productivo y además la calidad de la cosecha, pero en este caso, toda la cosecha no sirvió.

En la ruta de los kilómetros y comunidades como Boca del

PODRÍAN

LIBERAR A ROGELIO FRANCO

Luego de 15 amparos y 29 meses en prisión

»REDACCIÓN

TUXPAN.- Luego de 15 amparos y 29 meses en prisión, este viernes alrededor de las 3 de la tarde, sería puesto en libertad el político Tuxpeño Rogelio Franco Castán, informó su hija Viviana Franco.

Dijo que su papá, el ex secretario de gobernación, del entonces gobernador Miguel Ángel Yunes Linares, fue vinculado por 10 delitos en 6 procesos, mismos que libró

gracias a 15 amparos, por esta razón un juez federal ordenó levantar la última prisión preventiva justificada, por lo que Franco Castán está a días de ver la luz del día en libertad.

La joven explicó que ella y su familia, han pasado 29 meses de angustia y preocupación por el proceso que su papá enfrenta, han vivido prácticamente entre audiencias y tocando puertas en todas las instancias posibles a fin de buscar justicia para su padre y que por fin podrán lograr verlo libre.

“Fueron 29 meses de angustia e incertidumbre, de tocar puertas, de pedir apoyo y por ello te comento esta gran noticia, mi papá está a unas horas de obtener su libertad y acabar con esta injusticia de casi dos años y medio, el abogado no dijo que sería el próximo viernes alrededor de las 3:00 de la tarde, esperamos que ya no pase nada malo y lo podamos tener al fin en casa”.

Mencionó que, una vez lograda la libertad de su papá, el proceso deberá dar continuidad y a la par estarán muy atentos de lo que pusiera acontecer.

Monte entre otras, los ejidatarios informaron que llevan más de 10 .

hectáreas cortadas de maíz, porque las plantas no se desa-

AVANZA OPERATIVO DE VERANO

Alcalde

con vigilancia permanente

»REDACCIÓN

TUXPAN.- Con resultados aceptables transcurre el operativo vacacional de “Verano 2023”, toda vez que los recorridos efectuados por parte de elementos de Seguridad Pública Municipal, Fuerza Civil, Guardia Nacional, Marina y Ejército Mexicano en todo el municipio han logrado que no se registren actos de violencia que afecten a tuxpeños y turistas.

De acuerdo con lo señalado por el alcalde José Manuel Pozos Castro, el municipio ha sido muy visitado principalmente los fines de semana, por lo que restauranteros, hoteleros y demás prestadores de servicios han reportado llenos totales en sus instalaciones, y al mismo tiempo han reconocido los resultados arrojados por el operativo de seguridad, toda vez que no se han presentado ningún tipo de incidentes que los afecten o pongan en riesgo ni a ellos ni a los vacacionistas.

Explicó que en la zona de playa se ha puesto mucha atención, ya que es el espacio más visitado casi todos los días de la semana en este periodo de vacaciones; sin embargo, se sigue luchando con los bañistas para que hagan conciencia de la importancia de acatar las recomendaciones verbales que se brindan, así como de los señalamientos, ya que el no hacerlo ha sido la causa principal de los ahogamientos que se registran en dicho espacio.

Pozos Castro, remarcó que todo este turis-

rrollaron, por lo que ahora tendrán que esperarse hasta el próximo ciclo de siembra, para poder recuperarse económicamente.

mo que ha llegado en el periodo de verano, así como la Expo Tuxpan dejarán una importante derrama económica en la temporada, la cual es generadora también de empleo y eleva la calidad de vida de los tuxpeños, por lo que el gobierno seguirá haciendo la parte que le corresponde, como garantizar la seguridad y brindar todas las facilidades y servicios necesarios a quienes lleguen a invertir al municipio, ya que todo ello siempre traerá un beneficio a los diversos sectores y a la sociedad en general. Agregó que el operativo concluye con el último día del periodo vacacional de verano, sin embargo, debido a que Tuxpan es un municipio turístico, en donde cada fin de semana se reciben miles de visitantes, la vigilancia en los puntos de mayor afluencia serán permanentes.

| elheraldodetuxpan.com.mx | Martes 15 de Agosto de 2023 .5 LOCAL Primera Sección
señala que los puntos de mayor afluencia cuentan

Semovientes sueltos, en carretera federal

En riesgo automovilistas que transitan en el tramo Cerro AzulPotrero del Llano

REDACCIÓN CERRO AZUL

La presencia de semovientes en la carretera federal 180, en el tramo Cerro Azul-Potrero del Llano, continúa en aumento, al grado de haber provocado ya un accidente durante la madrugada de este lunes, debido a que los dueños de estos animales se descuidan en sus potreros y terminan vagando sobre la vía.

El acontecimiento ocurrió alrededor de las cinco de la mañana de este lunes, sobre este tramo carretero; el conductor de un automóvil Chevrolet color arena se encontraba transitando una curva y se topó con un caballo en medio del camino, resultando muerto el animal después del impacto.

La agilidad del conductor del automóvil y la pronta respuesta de las autoridades locales ayudaron a evitar una tragedia aún mayor, toda vez que la Guardia Nacional División Caminos tomó conocimiento de los hechos y está en búsqueda del propietario del caballo

para que asuma su responsabilidad por los daños materiales causados.

Otro caso reciente es en la entrada de la comunidad a Juan Felipe en este municipio en donde por dos días dos becerros se escaparon de un rancho y se pasearon por la cinta asfáltica; afortunadamente los

conductores lograron esquivarlos sin que ocurriera un accidente de lamentables consecuencias, más pudo ser peor; por lo que urge la toma de medidas drásticas para que resguarden bien dichos animales.

Listo, Festival orgullo Huasteco

Su objetivo es promocionar la danza local, así como artesanías y productos del campo

»REDACCIÓN

TANCOCO.- Faltan cuatro días para que dé inicio el evento “Festival orgullo huasteco”, actividad que tiene como objetivo el promocionar la danza local, música en vivo, artesanías y productos del campo, a realizarse en el parque central de la cabecera municipal.

Sera el próximo 18 de agosto del

año en curso en punto de las 18:00 horas, que darán inicio de serie de actividades organizadas por turismo y cultura quienes con antelación han organizado este evento folclórico, musical y cultural, para el deleite de las familias de Tancoco y la región.

Durante este evento se contará con invitados de honor enrazándose con artistas de Cuba como son Las Tunas, Son y Fandango, y principalmente se contará con actividades locales incluyendo productos del campo de agricultores de este municipio que participarán en una muestra.

Por lo anterior se extiende la invitación a la población local y sus comunidades, además también se espera la llegada de personas de la región como es Cerro Azul, Naranjos, Tuxpan y familias que están de vacaciones en Tancoco.

Martes 15 de Agosto de 2023 | elheraldodetuxpan.com.mx | 6. CERRO AZUL Primera Sección

REDACCIÓN TAMIAHUA

Personas de la tercera edad de 65 años o más puedan ser incorporados al programa de Pensión para el Bienestar del Adulto Mayor que otorga el Gobierno Federal a este grupo vulnerable en el municipio de Tamiahua.

Tal y como lo anunciara el titular de la Secretaria del Bienestar, Manuel Huerta Ladrón de Guevara a partir de este 14 de agosto se estará incorporando a más personas al programa de pensión para el Adulto Mayor en los Centros de Integración para el Bienestar.

La indicación es que toda persona de la tercera edad que cumpla los 65 años entre julio y agosto del presente año ya puede ser inscrito en el programa de seguridad social del 14 al 26 de agosto.

Para cumplir con el proceso de inscripción el interesado deberá presentarse en el Centro de Integración de Desarrollo ubicado en la calle Aquiles Centro esquina con Ruiz Cortinez en

Inicia incorporación a Pensión para el Bienestar

Adultos deberán llevar de manera personal documentación

los terrenos de la Cooperativa Tamiahua con la documentación completa. De acuerdo con informa-

ción de los siervos de la nación el Adulto Mayor deberá presentar dos copias de Acta de Nacimiento, CURP, INE y

Comprobante de domicilio, así como la original de la identificación personal, documentos que deberá llevar de manera

Sube el rojo

Un nuevo golpe al gasto familiar, el incremento al tomate

REDACCIÓN TAMIAHUA

Amas de casa no salen de una sorpresa para entrar a otro, pues tal parece que cada lunes hay un nuevo incremento en el costo de las frutas y verduras que se ofertan en este municipio costero los días lunes en el tianguis.

DAN EL DÍA A BURÓCRATAS

Lunes sin servicio en el Ayuntamiento

REDACCIÓN

TAMIAHUA

Empleados municipales fueron “gratificados” por su esfuerzo y participación en las actividades realizadas durante la Feria del Ostión 2023 realizada el pasado fin de semana, con un día de descanso por lo que este lunes no tuvieron labores en el Ayuntamiento Municipal.

Situación que causo contratiempos a ciudadanos principalmente de las comunidades que cada lunes vienen a la cabecera municipal a realizar diversos trámites en el Ayuntamiento Municipal y en

esta ocasión no pudieron ser atendidos. Sin duda, la población reconoce que el trabajo realizado durante el fin de semana en horarios no laborales merece ser reconocido al menos reponiendo las horas trabajadas con un día de descanso, pero no es conveniente que ese día sea un lunes donde el servicio es requerido mayormente por la ciudadanía.

La falta de empatía por parte del gobierno municipal hacia aquella población que tiene que hacer un gasto para trasladarse hasta la cabecera por la necesidad de realizar algún trámite o consulta es señalada por los habitantes de Tamiahua, ya que no es la primera vez que ocurre este tipo de situaciones.

Incluso el servicio de recolección de basura fue suspendido en algunas zonas como ocurrió en la calle Benito Juárez sur donde los vecinos se quedaron con la basura en las aceras esperando al camión recolector pero al parecer no todos laboraron este lunes.

Refieren las reinas del hogar que la semana pasado fue el incremento de la cebolla cuyo costo se elevó de 13 hasta 27 pesos y este lunes se ha mantenido en los 25 pesos en kilo en algunos puestos del rodante, lo que no deja de ser un aumen-

personal el Adulto mayor ya que es requisito indispensable su presencia en el Centro de Integración de Desarrollo.

to que afecta el bolsillo de los habitantes de la Villa.

Este lunes le tocó el turno al tomate que sorpresivamente elevó su costo 10 pesos más, ya que se estaba ofertando a 12 pesos el kilo y en una semana aumentó su precio a 22 pesos el kilogramo.

Esta situación, preocupa tanto a las amas de casa como a restauranteros ya que este es un ingrediente indispensable para preparar el complemento de muchos de sus platillos como son las enchiladas, así como la base de muchas preparaciones culinarias.

Y es que tamiahuenses refieren que es muy pronto para que se de este tipo de incrementos ya que por lo general el costo del “rojito” se incremente durante el invierno cuando las cosechas sufren los estragos del frío, por lo cual estiman que este año el precio del jitomate se disparé para fin de año.

Martes 15 de Agosto de 2023 .7 TAMIAHUA | elheraldodetuxpan.com.mx | Primera Sección

La comunidad de Amatlán fue escenario de un colorido programa artístico y cultural

REDACCIÓN NARANJOS

El reciente fin de semana, la comunidad de Amatlán fue escenario de la celebración del Día Internacional de los Pueblos Indígenas 2023, mediante una ceremonia llena de colorido realizada con el fin de exaltar los valores culturales y étnicos que aún se con-

Celebran Día de los Pueblos indígenas

servan en localidades del municipio huasteco. El evento inició con la narración de la historia de la figura arqueológica conocida como “El Sol Poniente”, ubicada en frente al parque de la localidad, y posteriormente se presentó la Danza de los Negritos, de origen totonaco,

PROMUEVEN IGUALDAD DE GÉNERO

Mujeres funcionarias se pronuncian por una vida libre de violencia

»REDACCIÓN

CHONTLA.- En este municipio, las mujeres funcionarias se reúnen cada mes, atendiendo las políticas públicas de paridad de género impulsadas a través desde los gobiernos federal, estatal y municipal a través de las distintas instancias oficiales, con el fin de lograr un avance significativo en la materia que se traduzca en igualdad plena para hombres y mujeres.

para continuar con otros actos de baile y música representativos de los pueblos originarios, que simbolizan las raíces de NaranjosAmatlán.

Enseguida fue colocada una ofrenda culinaria en la icónica escultura y se instaló una muestra gastronómica y artesanal, en

tanto continuaba el programa de números artísticos con la presencia del Taller de Son Huasteco, comandado por Feliciano Cenobio; el Taller Infantil “Kuitol Tenek”; el trio “Encanto Amateco” y la Danza de los Negritos del Barrio Huasteco, todos de Amatlán.

Por último, mostraron sus habi-

Recuerdan al primer alcalde de Naranjos

Colocan placa en la casa donde vivió Don Basilio Obando Casanova »REDACCIÓN NARANJOS.- Como una forma de hacer que perdure en la memoria de los naranjenses el nombre de uno de los personajes más valiosos de la historia local, un grupo de ciudadanos tuvieron a bien fijar una placa en el inmueble donde vivió el primer presidente municipal que tuvo esta ciudad como cabecera, Basilio Magno Obando Casanova, hombre visionario que procuró el beneficio de su pueblo.

lidades los integrantes del Taller de DanzaFolclóricadeCasadeCultura Naranjos, que dirige el amateco Emigdio Gómez Reyes, y se dio pie a una muestra literaria presentada por la Biblioteca Pública “Lic. Benito Juárez” de la propia comunidad, a cargo de María Cleofas Mogollón Hernández.

Fue en la construcción situada en la avenida Juárez de la colonia Progreso, donde actualmente se encuentran las oficinas de la Agencia Naranjos de Comisión Federal de Electricidad, donde vivió el ilustre Don Basilio Obando, por lo que en ese sitio se colocó la inscripción, con el fin de que no pase ese hecho como desapercibido.

Autoridades de la localidad, así como el exalcalde Victórico Torres Morales, acompañaron a Basilio de Jesús Obando, Celia Obando Celaya y José Luis Loya Obando a develar la placa que quedó incrustada en la barda trasera de la mencionada propiedad, junto con María Guadalupe Vite Cruz, esposa de José Luis Loya y vecinos del lugar.

Basilio Obando Casanova tomó posesión como presidente municipal el 1 de enero de 1942, fecha en que los poderes políticos fueron transferidos de la congregación de Amatlán a Naranjos, por lo que se le recuerda como el primer alcalde que tuvo como sede a esta localidad, sin demeritar a quienes hayan fungido como tales en la antigua cabecera.

De igual manera, con ese tipo de acciones se busca promover una vida libre de violencia contra mujeres y niñas, un tema que también ha sido tratado desde las más altas esferas no tan sólo gubernamentales, sino también desde las organizaciones culturales, educativas, religiosas y empresariales de la sociedad mexicana.

Así lo manifestó la directora del Instituto Municipal de la Mujer (Immujer), Josselline Pérez Trinidad, quien encabezó en días pasados la reunión mensual correspondiente, a la que asistieron la trabajadora social Diana Laura Hernández Mendoza; la asesora jurídica, Nayeli Gómez Guzmán, y la auxiliar administrativa, María del Pilar Hernández Iglesias.

Pérez Trinidad manifestó que ese tipo de actividades van encaminadas a buscar propuestas para seguir fortaleciendo y generando acciones a beneficio de las mujeres y niñas chontlenses, contribuyendo de tal manera a reforzar la lucha permanente contra la violencia de género a favor de las mujeres y niñas veracruzanas.

| elheraldodetuxpan.com.mx | NARANJOS Martes 15 de Agosto de 2023 8. Primera Sección

REDACCIÓN VERACRUZ

Autoridades ministeriales confirmaron que son “más de 13 cuerpos” desmembrados, embalados y congelados los encontrados en dos casas de seguridad en el norte de Veracruz.

La Fiscalía General del Estado informó que en unos primeros indicios recogidos “lamentablemente” podrían ser más de 13 cuerpos los que fueron hallados en el municipio de Poza Rica.

“Sí se puede aclarar que no se trata de los 34 que algunos medios han difundido erróneamente”, atajó en un comunicado de prensa.

Se informó que la Dirección General de los Servicios Periciales, desde que tuvo conocimiento de los hechos ocurridos el domingo, practica las pruebas de criminalística de campo y laboratorio que se efectúan en este tipo de casos, que permitirán determinar el número de individuos implicados y sus identidades.

El organismo, aclaró que cualquier cifra que se maneje sobre el número de víctimas carece de “soporte técnico, real, objetivo

Confirma Fiscalía No son 34, pero si más de 13, los cuerpos hallados en Poza Rica

Fiscal Giadáns quiso minimizar cifras dadas por los medios, pero se ganó severas críticas ante imparable ola de violencia

elementos del Ejército mexicano, de la Secretaría de Seguridad Pública estatal y de la Fiscalía General del Estado llevaron a cabo cateos en propiedades presuntamente usadas para cometer ilícitos en esa zona que desde enero del presente año sufre delitos de alto impacto.

La Fiscalía informó además que se encuentran detenidas seis personas probablemente relacionadas con estos hechos.

y científico”, por lo que admitió que aún no están en condiciones de ofrecer una cifra exacta.

Y es que, según fuentes poli-

INICIA IPE REVISTA DE SUPERVIVENCIA

La acreditación podrá ser a través de la modalidad a distancia, virtual, o presencial

AGENCIAS

XALAPA

Este lunes 14 de agosto el Instituto de Pensiones del Estado (IPE) inició el segundo periodo del programa de supervivencia 2023 en modalidad mixta, y estará vigente hasta el 29 de septiembre.

La acreditación de los derechohabientes pensionados será a través de la modalidad a distancia, virtual, y presencial.

En la modalidad a distancia, el

ciales, el trabajo de identificación forense para determinar un número aproximado de víctimas se ha complicado, debido

a que los cuerpos estaban desmembrados, embalados perfectamente y congelados.

Fue ayer domingo cuando

VERACRUZ TIENE EL MENOR COSTO TESTAMENTARIO

Listas las 271 notarías para dar seguridad a la población sobre sus bienes

»AGENCIAS

Xalapa.- Durante septiembre, la Secretaría de Gobierno (SEGOB) brindará toda la certeza y seguridad patrimonial a la población a través de la campaña Mes del Testamento, con un costo de mil 200 pesos por trámite, siendo el más bajo a nivel nacional.

pensionista deberá, por mensajería o vía postal, la documentación requerida.

En la modalidad virtual habrá dos opciones, una mediante videollamadas whatsapp a través de los números 2288388957, 2281266889, 2281900468, 2283423451, 2281596053 y 2281423448, que se agendarán del 21 de agosto a hasta el ocho de septiembre y se llevarán a cabo del del 11 al 29 de septiembre.

La aplicación IPE móvil solo estará disponible para teléfonos celulares Android, la cual podrá descargar en el siguiente link https://play.google.com/ store/apps/detail.

Mientras que para la modalidad presencial estarán disponibles módulos fijos en la Estancia Garnica, en el Gran Hotel Xalapa y en las oficinas centrales del IE.

Además, habrá módulos itinerantes en 30 municipios.

El titular de la dependencia, Eric Cisneros Burgos, precisó que están listas las 271 notarías de las 21 demarcaciones territoriales, cuyos titulares reducen sustancialmente sus honorarios para que la gente aproveche la

Y que fiscales, peritos y policía ministerial realizan las investigaciones correspondientes a partir de los indicios encontrados en ambos inmuebles, así como con otras actuaciones que forman parte de la carpeta de investigación.

oportunidad de otorgar legalidad a su decisión o voluntad.

La meta de este año es emitir 20 mil documentos y superar así los 12 mil 070 del anterior, “cuando en la historia se habían hecho apenas seis mil”, precisó, en el marco de la conferencia semanal del gobernador. Solicitar a tiempo esta herramienta ayuda a prevenir disputas familiares por el reparto de propiedades, designar tutores legales para las y los hijos menores de edad, garantizar certidumbre jurídica a los herederos y evitar procesos tardados, dolorosos y costosos.

A su vez, el presidente del Colegio de Notarios del Estado de Veracruz, Daniel Cordero Gálvez, señaló que este esfuerzo conjunto es la mejor oportunidad para que la población acuda a los despachos y obtenga la asesoría y orientación de los especialistas. Agregó que no sólo pueden heredarse bienes y posesiones, sino que el testamento también reconoce obligaciones, dispone el cumplimiento de deberes pendientes y ordena asuntos familiares o personales después de la muerte.

Martes 15 de Agosto de 2023 ESTADO .9 | elheraldodetuxpan.com.mx | Primera Sección

»AGENCIAS

Orizaba.- A dos años de su partida, familiares, autoridades eclesiales y municipales, llevaron a cabo la develación de la estatua de Hipólito Reyes Larios, la cual se ubica a un costado de la entrada a la Catedral San Miguel Arcángel, de Orizaba.

Su hermano Luis Reyes Larios, a nombre de la familia, agradeció la iniciativa para la develación de su estatua justamente en la fecha en la que cumpliría años, “siempre puso el corazón, puso el amor por el trabajo y el servicio a la orden de todos sus feligreses y de todo aquel que se acercaba a él”.

Subrayó que fue una persona muy cercana a la gente dando muestra de que los puestos directivos no son para uno sino son para servir a los demás.

Los presentes dieron gracias a quienes impulsaron este proyecto, al ser una escultura que hace que recuerde que todos y cada uno de nosotros tenemos una misión personal, no solamente con los que tenemos cerca sino con todo lo que Dios ponga en nuestro camino.

El presidente municipal Juan Manuel Diez Francos por su parte, dijo que además de ser el primer obispo de esta Diócesis hasta el día 10 de abril de 2017, fue designado arzobispo de Xalapa.

Develan estatua de Hipólito Reyes

Familiares, autoridades y amigos recordaron al primer Obispo de la Diócesis y posteriormente arzobispo de Xalapa

Acotó que el gesto de levantar este monumento los compromete a llevar hacia adelante el legado cultural y religioso de monseñor Hipólito Reyes Larios, “los invito a seguir su ejemplo y convertirnos en promotores de seres humanos ahora que tanto lo necesita México”.

Por último, el obispo de la Diócesis de Orizaba, monseñor Eduardo Cervantes Merino, externó que la familia cristiana está llamada a que los hijos de las familias y frutos de la familia sean personas que contribuyan al bien a construir un mundo más fraterno.

“Monseñor enseñó que no importaba el tamaño de la ciudad sino las ganas de la gente por hacer cosas grandes, porque él puso los cimien- tos de nuestra diócesis en Orizaba, el Seminario, la Curia, las estructu-

PREVALECERÁ CIELO MEDIO NUBLADO

AGENCIAS VERACRUZ

La Comisión Nacional del Agua (Conagua) ha dado a conocer que para este inicio de semana en la zona conurbada prevalecerá cielo medio nublado acompañado de una temperatura máxima de 32 grados Celsius y una mínima de 24 grados.

La probabilidad de lluvia sigue latente sobre todo durante la noche-madrugada con acumulado de 5 a 15 milímetros, la

ras del camino pastoral, integrar a sacerdotes a los seminaristas

grupos y movimientos, así como las visitas pastorales”.

Nueva administradora en DADUV

Resultado de un proceso de evaluación, competencias, trayectoria y selección

»AGENCIAS

Xalapa.- La Universidad Veracruzana (UV) transforma y transparenta los procesos de selección para la designación de personas que habrán de realizar funciones de administración, con el objetivo de brindar la oportunidad a todo el personal de la institución que cumpla con el perfil y los requisitos.

La designación se toma a partir de los resultados en la evaluación, las competencias y la trayectoria. De esta manera se desarro-

máxima podría llegar a 30 mm, lo anterior debido al paso de la onda tropical número 22 en la entidad.

Respecto al viento, este se fijará del norte al noreste de 20 a 30 kilómetros por hora. El ambiente será cálido a partir del mediodía y templado por la tarde-noche.

A esto se le suma el llamado por parte de Protección Civil estatal, en donde advierte sobre el potencial de lluvias y tormentas que persistirá por lo menos hasta mediados de semana en territorio veracruzano, por lo que se invita a las y los ciudadanos a consultar el aviso especial por lluvias fuerte, el constante monitoreo de las actualizaciones del estado del tiempo y seguir las debidas recomendaciones por parte de las autoridades correspondientes.

Finalmente expresó que Reyes Larios fue el primer pastor de una diócesis naciente que quedó estructurada gracias a su labor pastoral.

llan procesos transparentes, equitativos, incluyentes y apegados al derecho humano, con la finalidad de potenciar el desarrollo institucional desde el talento humano para fortalecer la mejora continua y el cumplimiento de metas y objetivos institucionales. En esa tesitura, la Secretaría de Administración y Finanzas, a través de la Dirección General de Recursos Humanos, llevó a cabo el segundo proceso en esta nueva modalidad y la evaluación para designar al Administrador de la Dirección de Actividades Deportivas (DADUV), que se efectuó del 15 de junio al 7 de julio, desarrollándose en cinco fases y con la participación de 45 candidatos.

Posterior al proceso y con base en sus resultados, Claudia Hernández Vásquez fue designada por el rector de la UV, Martín Aguilar Sánchez, como administradora de la DADUV; su toma de protesta y entrega del respectivo nombramiento se realizó en las instalaciones de la Dirección, ante la presencia de su personal.

Martes 15 de Agosto de 2023 | elheraldodetuxpan.com.mx | 10. ESTADO Primera Sección

AGENCIAS

XALAPA

El liderazgo nacional de Veracruz en materia de combate a la pobreza es testimonio de un Estado bien conducido, donde el gobernador Cuitláhuac García Jiménez, al lado del presidente Andrés Manuel López Obrador, le está cumpliendo al pueblo, consideró el presidente de la Junta de Coordinación Política del Congreso del Estado, el diputado Juan Javier Gómez Cazarín.

Hace unos días vimos la noticia de que, en cuatro años de gobierno del presidente López Obrador, la pobreza en México se redujo en 16 por ciento; pero faltó precisar que, de todo el país, Veracruz fue el estado con los mejores números obtenidos, señaló Gómez Cazarín.

El Consejo Nacional de Evaluación

Veracruz está superando la pobreza: Cazarín

Cifras del Coneval son testimonio de un Estado bien gobernado, gracias a las gestiones y acciones de AMLO y Cuitláhuac

de la Política de Desarrollo Social (Coneval) confirmó que Veracruz fue el estado que mayores cifras de superación de pobreza registró en todo México, recordó el Legislador.

Y es que, según el Coneval, 532 mil veracruzanas y veracruzanos dejaron de ser considerados pobres entre 2018 y 2022. De ellos, 203

Exigen justicia para Max

Motorepartidor fue arrollado por presunto empleado de Gobierno

»JUAN DAVID CASTILLA

Xalapa.- Decenas de motorepartidores protestaron con una caravana y bloquearon la calle Juan de la Luz Enríquez, en el centro de Xalapa, para exigir justicia para su compañero

Maximiliano Raúl López Miñón, quien fue atropellado el domingo 13 de agosto por José Luis “N”, presunto empleado de Gobierno del Estado. Los hechos ocurrieron alrededor de las seis de la tarde en la zona del fraccionamiento Residencial del Bosque, cuando Max circulaba con dirección hacia Monte Magno para entregar un pedido de comida.

Max, como lo llaman sus amigos, tiene 20 años, es estudiante de la licenciatura en Gestión Empresarial en el Instituto Tecnológico Superior de Xalapa (ITSX), boxeador y labora como motorepartidor.

Su madre María Miñón Rodríguez indicó

mil superaron la pobreza extrema y 329 mil dejaron atrás la pobreza moderada.

Si midiéramos pobreza sólo en función de los ingresos –sin contar otros indicadores de bienestar-, la cifra de veracruzanas y veracruzanos que rompieron el techo de la pobreza se elevaría a más de 596

mil personas. Este número equivale a casi el 7.5 por ciento del total de la población del Estado y equivale a casi la población total del municipio de Veracruz, el más habitado del estado.

Lo tengo muy claro: estos números hablan bien del gobierno del presidente López Obrador, pero

Cierran circulación en la Veracruz-México

Deslave de lodo, maleza y hasta un árbol de gran tamaño, provocó el bloqueó

»AGENCIAS

Huiloapan de Cuauhtémoc.- Un nuevo deslizamiento de tierra, lodos, maleza y hasta un árbol de gran tamaño en el kilómetro 266+570 de la Autopista 150D MéxicoVeracruz, ocasionó el cierre parcial de la circulación vehicular con dirección a Veracruz.

también de la gestión local, honrada, ordenada y comprometida del gobernador Cuitláhuac García, apuntó Gómez Cazarín. El Coneval también dio cuenta de que 309 mil personas mejoraron las condiciones de su vivienda; 276 mil mejoraron sus servicios públicos; y 492 mil mejoraron su alimentación.

autoridades a través de los números de emergencia 911 sobre un nuevo deslizamiento de tierra sobre el tramo carretero La Curva del Pocito-El Destacamento de la Guardia Nacional a causa de las lluvias registradas durante las últimas horas en la región centro del Estado como por la debilitación de la ladera del cerro por la acumulación de agua. Es de mencionar que, desde hace algunos días, en qué se generó un primer deslave sobre ésta importante vía de comunicación, la circulación vehicular se ha mantenido parcialmente cerrada, e incluso por algunas horas el flujo vehicular es a contraflujo debido a que cuadrillas de Capufe, retiran el material que invade la carpeta de rodamiento.

que los médicos daban solo 72 horas de vida a Maximiliano por la gravedad de sus lesiones, a causa de una imprudencia por parte de un presunto servidor público.

“Yo lo único que pido es justicia para mi hijo, él es un excelente ser humano, solo salió a trabajar, como todo niño bueno sin vicios, tiene 20 años y no quiso depender de su madre, somos personas trabajadoras. No se vale que una persona salga sin precaución de un lugar, que todos conocemos que es un funcionario, que quiso hacer patrañas para quedar libre”.

Los familiares de Maximiliano presentaron la denuncia en la Fiscalía General del Estado (FGE) de Veracruz y decidieron manifestarse para hacer una mayor presión para que el caso no quede en la impunidad.

La señora exigió al conductor del vehículo que se haga responsable de los gastos médicos, pues Max presentó fracturas en el cráneo y una hemorragia interna.

El presunto responsable del accidente está detenido. Los familiares y amigos de Max piden que no quede en libertad y se continúen con las investigaciones contra el presunto responsable.

Durante las primeras horas de este lunes 14 de agosto, los motorepartidores y sus familiares acudieron a las instalaciones de la Policía Ministerial en Las Trancas, para vigilar que el detenido no fuera liberado.

El sitio perteneciente al municipio de Huiloapan es abanderado por personal de Caminos y Puentes Federales, así como por gendarmes de la Guardia Nacional con el objeto de prevenir algún percance carretero.

Usuarios de la vía rápida alertaron a las

Debido a que este cerro no cede y continúa bajando material, el personal de Capufe ya ha colocado barricadas con costales para frenar el material, y se espera que en próximas fechas se edifiquen muros gaviones de rocas con malla, para frenar estás bajadas que afectan completamente la circulación vehicular de la Autopista 150D Puebla-Orizaba.

Martes 15 de Agosto de 2023 .11 ESTADO | elheraldodetuxpan.com.mx | Primera Sección

Andrea Escalona sufre accidente

AGENCIAS

MÈXICO

Andrea Escalona, quién se convirtió en madre hace ocho meses sigue lactando, sin embargo, eso no le ha impedido continuar con su ritmo de trabajo.

Durante una transmisión del programa ‘Hoy’ la joven conductora sufrió un accidente al caerse el parche de lactancia que llevaba puesto. Ante este momento la conductora reaccionó de esta manera. El accidente ocurrió la semana pasada durante una de las secciones del programa ‘Hoy’.

Andrea Escalona se encontraba saltando la cuerda para la sección de la rutina de hoy y fue en ese momento cuando el parche de lactancia se le cayó en plena transmisión en vivo. El momento que pudo derivar en burlas, terminó siendo reconocido por las mamás que ven el programa además de que el público del matutino también la apoyó.

Andrea Escalona fue quien compartió el clip que se hizo viral en TikTok con el fin de normalizar dicha situación. Muchas madres se van a trabajar dejando a sus hijos bebés en casa utilizando parches de

lactancia, como en el caso de la conductora.

“Cosas que pasan en un programa en vivo. Ups. Se me cayó mi parche de lactancia. ¡Viva la lactancia!”.

La reacción de la conductora ante el accidente ya generado muchos interacciones en sus redes sociales y más de 1.5 millones de reproducciones del

Muere hija de Luis Angel

Hija del intérprete de regional mexicano sufrió un accidente en Mazatlán, Sinaloa

AGENCIAS MÈXICO

Luis Ángel El Flaco enfrenta una dolorosa pérdida pues este lunes falleció su hija María Fernanda. En sus propias palabras expresó que se trata de “el dolor más grande que uno puede sentir”.

En un comunicado compartido por su equipo se confirmó la noticia del fallecimiento y se pidió respeto para el cantante de regional mexicano y su familia. En el mensaje compartido a medios se pidió comprensión en este difícil momento que pasa el ex vocalista de Banda El Recodo.

video que la misma Escalona compartió.

“Una etapa que deberíamos normalizar en la TV. Ser mamá implica muchos cambios no sólo físicos”; “Protectores de leche materna, yo los use y se los recomiendo para no manchar la ropa de leche”; “Cosas de ser mamis, no tiene nada de malo pasamos por eso”.

“Estimados amigos, familia y compañeros de la prensa: con profunda tristeza tengo que comunicar la partida de mi hija María Fernanda. Es el dolor más grande que uno puede sentir. Agradezco todos los mensajes de apoyo y amor que he recibido. Más adelante podré responderlos”, expuso en un comunicado. De acuerdo con información preliminar, la joven falleció la mañana de este lunes cuando se introdujo en una playa de Mazatlán, Sinaloa, y no pudo ser rescatada.

Los primeros reportes indican que se encontraba con una amiga, quien sí pudo ser salvada.

Zooey y Jonathan están comprometidos

Pareja ha anunciado su compromiso luego de cuatro años de relación

AGENCIAS ESTADOS UNIDOS

Una de las actrices más populares y queridas del medio del espectáculo mundial anunció que está comprometida. Hablamos de la siempre carismática Zooey Deschanel, quien acudió a su cuenta de Instagram para compartir esta noticia junto a su ahora prometido Jonathan Scott.

La actriz de 500 Días con Ella no pudo contener su alegría y emoción y decidió compartir una foto junto a su amado mostrando el gran anillo.

De acuerdo con PEOPLE, el romántico momento sucedió el pasado domingo 13 de agosto cuando ambos viajaron a Escocia, junto con los hijos de Zooey.

“¡¡¡Para siempre comienza ahora!!!”, escribieron los futuros esposos.

El día tan esperado llegó luego de cuatro años de relación. Jonathan concoió a Zooey en agosto de 2019 mientras filmaba un episodio de Carpool Karaoke junto a James Corden. El episodio contó con el hermano de Jonathan, Drew, y la hermana de Zooey, la actriz Emily Deschanel. De acuerdo con fuentes cercanas,

esa misma noche ambos fueron a un karaoke en donde la conexión fue instantánea. Luego de algunos mensajes de texto, la pareja fue vista por primera vez como pareja durante una cena en septiembre del mismo año. Más tarde, el primer beso público se dio en una grabación de Dancing with the Stars.

En la foto compartida por ambas personalidades se ve a la pareja en Escocia, justo debajo de un castillo de piedra. Deschanel levanta su mano mostrando el anillo de piedras claras, rosadas y púrpuras en un patrón de flores.

| elheraldodetuxpan.com.mx | Primera Sección Martes 15 de Agosto de 2023 12. ESTILOS
Conductora se encontraba realizando una serie de ejercicios cuando se le cae parche de lactancia

Brincos Dieras fue lesionado

AGENCIAS MÈXICO

El pasado fin de semana el afamado payaso “Brincos Dieras” causó una gran preocupación entre sus fans debido a que, tras haber finalizado su show en Torreón, Coahuila salió del inmueble en el que se presentó a bordo de una ambulancia, por lo que se realizaron distintas especulaciones al respecto, sin embargo, el propio comediante salió a explicar qué es lo que verdaderamente ocurrió y cuál es su situación médica actual.

Fue el pasado viernes 11 de agosto cuando “Brincos Dieras” se presentó en el Coliseo Centenario de Torreón como parte de su nueva gira y tal como se esperaba el espectáculo del comediante cuyo nombre real es Roberto Carlo, fue todo un éxito y aunque para el público todo terminó sin incidencias al final del espectáculo el afamado e irreverente payaso tuvo que salir a bordo de una ambulancia, por lo que se realizaron distintas especulaciones al respecto, incluso, hubo quien dijo que había sufrido un infarto, sin embargo, tuvieron que pasar casi 24 horas para que el propio

Ashley da bienvenida a su hijo

AGENCIAS ESTADOS UNIDOS

Ashley, actriz y empresaria conocida de las ‘gemelas Olsen’ de la serie ‘Full House’ (Tres por tres), dio a luz a su primer hijo en compañía de Louis Eisner, con quien se casó el año pasado.

De acuerdo con el portal TMZ, la diseñadora de modas dio a luz hace unos meses a su bebé, a quien llamó Otto, hace algunos meses, en compañía de Louis Eisner.

Los detalles sobre su vida privada se han mantenido herméticos y únicamente se sabe de ellos por las ocasiones en que son vistos juntos por la ciudad de Nueva York. De hecho, su boda también fue secreta y posteriormente reportada por medios.

Ashley Olsen y Mary-Kate Olsen son dos actrices estadunidenses que iniciaron su carrera artística desde bebés; con tan sólo seis meses de edad consiguieron su primer papel en el programa de televisión ‘Full House’ (Tres por tres).

La fama de las gemelas Olsen llegó sin que ellas lo buscaran, incluso, algunos lo mencionan como un “golpe de suerte”; sin embargo, su carisma y talento las llevaron a conquistar Hollywood durante varios años.

Por ley, los bebés sólo pueden trabajar

cómico a aclarar por qué fue trasladado al hospital.

Fue a través de su perfil oficial de Instagram donde “Brincos Dieras” confirmó que sí fue trasladado a un hospital a bordo de una ambulancia y detalló que todo se debió a que durante una dinámica en la que subió a un par de hombres del público, terminó sufriendo una lesión debido a que un par de sus admiradores le aplicaron lo que se conoce en lucha libre como una “plancha” por lo que

el comediante se lesionó una costilla, aunque aclaró que no hubo fractura, no obstante, mencionó que por instrucciones médicas por ahora no podrá hacer esfuerzos.

“¡Mi raza, estoy bien! Sí me llevó la ambulancia porque pensaron que era una fisura, pero bendito Dios solo fue el golpe con medicamento sale. Gracias a la raza de Torreón. Nos la pasamos con madre y ‘el show debe continuar’, solo pido de su comprensión ya que no puedo

hacer esfuerzos y no habrá maromas, posiciones con brincos y helicópteros, muchas gracias” fue el texto que escribió “Brincos Dieras” en su perfil oficial de Instagram.

En adición el texto difundido por “Brincos Dieras”, el simpático payaso difundió un video en el que se pudo apreciar el momento exacto el que salió lastimado en pleno show y las imágenes revelaron que el comediante invitó a subir a dos hombres al escenario, quienes comenzaron a luchar con la intención de tirarse al suelo para hacer alusión a prácticas sexuales, sin embargo, el comediante quedó en medio del forcejeo y fue a dar al suelo, por lo que enseguida los hombres se le lanzaron como si le estuvieran haciendo una “plancha” y en las imágenes se pudo ver el gesto de dolor cuando le cayó encima el segundo sujeto.

Cabe mencionar que, Roberto Carlo sí se pudo poner en pie por sí mismo y hasta confesó que sintió que le tronó la costilla con un visible gesto de dolor, sin embargo, en una muestra de profesionalismo, el payaso no se volvió a quejar y culminó su espectáculo pese a la incomodidad que sentía.

Maestra Canuta pide trabajo

AGENCIAS MÈXICO

Martha Ofelia Galindo, la actriz que dio vida a la tan temida como querida maestra Canuta del programa Cero en conducta, ha dado a conocer que se encuentra desempleada y, a sus 94 años de edad, ha decidido volver a trabajar en el teatro.

primeros pasos de su carrera artística hace más de 60 años.

“Me gusta mucho el teatro, pero como te digo es una estupidez que la gente no aproveche talento, experiencia de una gran parte de actores viejos que podríamos estar juntos”, comentó.

alrededor de 20 minutos al día, pero para el mundo del entretenimiento fue una ventaja que fueran gemelas porque así las hermanas podían turnarse y filmar un mayor número de minutos. De este modo, Ashley y Mary-Kate amasaron una millonaria fortuna desde su niñez.

Sin embargo, no disfrutaron de su carrera en la televisión y el cine. Y aunque intentaron continuar con su carrera, tuvieron dificultades e, incluso, tuvieron problemas alimenticios; asimismo, se quejaron de la sexualización y del poco respeto a su vida privada.

En 2012, las gemelas anunciaron su retiró de la pantalla chica y grande, pues querían centrarse en su carrera en la moda con la apertura de una tienda de ropa.

Las ahora diseñadoras han fundado varias marcas como The Row o Elisabeth & James. Aunque, no llevan una vida mediática, las gemelas Olsen aparecen en eventos importantes como la Gala del Met.

La actriz reveló sus intenciones de ‘volver al ruedo’ durante el homenaje que se le realizó al actor mexicano Eric del Castillo, evento al que asistió hace apenas unos días.

Durante el homenaje a Eric del Castillo, la actriz aprovechó para hablar con la cuenta de TikTok ‘Las Marianotas’ y revelar que se encuentra desempleada desde hace algún y pidió oportunidades de trabajo para los actores de la tercera edad.

“Me gustaría que se hiciera una compañía de actores viejos, que nos tomaran en cuenta para trabajar, porque (México) es el único país que no le importan los actores viejos y es una aberración total, porque precisamente nosotros tenemos una experiencia inmensa”, dijo a la cuenta de TikTok.

Galindo también dio a conocer sus intenciones de volver al teatro, en donde dio los

Muchos usuarios de la plataforma empatizaron con la situación de la actriz y le dedicaron mensajes de apoyo en la sección de comentarios del video.

“La legendaria y hermosa maestra Canuta”, “Ojalá le den una oportunidad a ella y a todos los no tan jóvenes”, “Necesitamos de vuelta a esta gran actriz” y “Bella señora, por favor no la abandonen”, dijeron algunos usuarios de TikTok.

El clip ya cuenta con más de veintisiete mil reproducciones y alrededor de mil ochocientos ‘me gusta’.

| elheraldodetuxpan.com.mx | Primera Sección Martes 15 de Agosto de 2023 .13 ESTILOS

Huracán ‘Fernanda’ alcanza categoría 4

AGENCIAS

MÈXICO

El huracán “Fernanda” se intensificó la mañana de este lunes a categoría 4 en la escala Saffir-Simpson, informó el Servicio Meteorológico Nacional (SMN).

De acuerdo con el reporte más reciente, emitido a las 9:15 horas, se localiza a mil 195 kilómetros al suroeste de Cabo San Lucas, Baja California Sur.

“Fernanda” presenta vientos máximos sostenidos de 215 kilómetros por hora (km/h), rachas de 260 km/h y desplazamiento hacia el oeste a 13 km/h.

Por otra parte, el centro de la tormenta tropical “Greg” mantiene su desplazamiento hacia el oeste sobre el Océano Pacífico, muy lejos de las costas mexicanas.

En el aviso del organismo dependiente de la Comisión Nacional del Agua (Conagua), se reportó que se ubica a mil 780 km al este-sureste de Hilo, Hawai, Estados Unidos, y a tres mil 260 km al oeste-suroeste de

Creel hace oficial su salida

AGENCIAS MÈXICO

El diputado Santiago Creel Miranda, presentó su renuncia al cargo de Presidente de la Mesa Directiva de la Cámara de Diputados, y pidió licencia “definitiva” a su cargo como legislador. Lo anterior para poder dedicarse de lleno a su aspiración para ser el candidato presidencial del Frente Amplio por México, a la Presidencia de la República.

En su lugar quedará, a partir de este martes 15 de agosto, la diputada Noemí Berenice Luna.

En conferencia de prensa, el panista aprovechó para recordar que durante su encargo, el titular del Ejecutivo, Andrés Manuel López Obrador nunca lo recibió para abrir el diálogo, por lo que advirtió que el Primer Mandatario “lo va a lamentar”.

“La experiencia de no haber sido recibido por el Presidente de la República, ni haber podido abrir el diálogo con él, es verdaderamente lamentable, no es propio de un Presidente demócrata dejar a un lado el diálogo político con la oposición y con el Presidente de la Cámara de Diputados, tengo amplia experiencia en materia de seguridad, particularmente interior, hubiese querido platicar con usted señor Presidente sobre el gran problema que tiene el país que es la violencia, usted no me dio la oportunidad y lo va a lamentar, para mí fue lamentable, pero para usted será más lamentable haber dejado un saldo de 136 mil homicidios violentos, 40 mil desaparecidos y 14 mil feminicidios, eso, Presidente, lo va a perseguir toda su vida”, aseveró.

Tanto la renuncia a la mesa directiva como la licencia a su cargo de diputado, surtirá efectos hasta este martes, durante la sesión de la Comisión Permanente, y una vez que eso suceda, entrará en funciones la diputada panista, Noemí Berenice Luna.

Punta Eugenia, Baja California Sur.

La tormenta tropical también presenta vientos máximos sostenidos de 65 km/h, rachas de 85 km/h y desplazamiento hacia el oeste a 20km/h.

El organismo advirtió que el monzón mexicano originará lluvias puntuales fuertes en Sonora, Sinaloa, Chihuahua y Durango; así como lluvias con chubascos en Baja California Sur; todas descargas eléctricas.

Mientras que un canal de baja presión en el interior de la República Mexicana, en combinación con el ingreso de humedad del Océano Pacífico y Golfo de México, y con inestabilidad en niveles altos de la atmósfera, ocasionarán lluvias puntuales muy fuertes en Nayarit, Jalisco, Colima y Michoacán.

También provocarán lluvias puntuales fuertes en el Estado de México y la Ciudad de México, las cuales se acompañarán de descargas eléctricas, rachas de viento y posible caída de granizo; así como chubascos con posibles descargas eléctricas

AGENCIAS

MÈXICO

El Instituto Nacional Electoral (INE) presentó el anteproyecto de presupuesto de 2024, en el que solicita 37 mil millones de pesos para la organización de las elecciones del próximo año, así como sus gastos operativos y prerrogativas para partidos políticos.

La Comisión Temporal de Presupuesto expuso el anteproyecto, el cual pasa a la Junta General Ejecutiva y posteriormente al Consejo General del INE.

En la elección federal de 2018, el presu-

en estados del norte, noreste, occidente y centro del país.

Por otro lado, la onda tropical número 22 que se desplazará sobre el sureste mexicano, se asociará con una zona de baja presión con probabilidad para desarrollo ciclónico que se localizará al sur del Golfo de Tehuantepec, lo que originará lluvias puntuales intensas en Guerrero, Puebla, Veracruz, Oaxaca, Chiapas y Tabasco, acompañadas de descargas eléctricas, rachas de viento y posible caída de granizo.

El ingreso de aire húmedo proveniente del Mar Caribe generará lluvias puntuales fuertes con descargas eléctricas y rachas de viento en los estados de la Península de Yucatán.

Finalmente, prevalecerá el ambiente vespertino cálido a caluroso en la mayor parte de la República Mexicana, llegando a ser muy caluroso en zonas de Sinaloa, Sonora, Chihuahua, Coahuila, Nuevo León y Tamaulipas; y con temperaturas máximas extremadamente calurosas sobre el noreste de Baja California.

“Estoy muy contento de cerrar este ciclo, y lo he cerrado cuando he considerado que las condiciones ya no me permiten dedicarle el tiempo que requiere la Cámara de Diputados, estoy entrando a una fase del proceso interno del frente amplio Por México que va a requerir de todo mi tiempo. Ya no voy a volver a la Cámara de Diputados, la licencia es de manera definitiva porque yo ya tomé la decisión de que estas 42 semanas que están por delante quiero estar en la primera línea de defensa de mi patria”, detalló.

Creel Miranda, recordó que durante su Presidencia interpuso alrededor de 20 acciones legales ante el poder judicial, las cuales, aseguró, “están blindadas”.

“Están blindadas, me cercioré, nadie podría revocar ya un recurso de controversia constitucional y esto está en la ley que reglamenta el artículo 105 de la Constitución de donde surgen las acciones de inconstitucionalidad, pero además es parte del acuerdo que fue ratificado este lunes”, detalló.

puesto base del INE fue de 21 mil 600 millones de pesos, sin contar el financiamiento a partidos políticos.

Para el siguiente año, el INE solicita un presupuesto de 23 mil 757.45 millones de pesos

para el presupuesto base, que incluye gastos operativos y proyectos, objetivos estratégicos e institucionales.

Lo anterior, representa un 11% más del presupuesto solicitado para la elección federal

de 2018.

El Instituto también perfila 10 mil 444 millones de pesos para las prerrogativas de los partidos políticos.

En tercer lugar, se propone solicitar 3 mil 568 millones de pesos como presupuesto precautorio, el cual se utilizaría en caso de que se realice una consulta popular o elecciones extraordinarias.

La consejera presidenta del INE, Guadalupe Taddei, destacó las reuniones con la Cámara de Diputados en el proceso de construcción del proyecto del presupuesto.

“Se establece que por primera ocasión, el Instituto se acerca a la Cámara de Diputados de manera previa a la aprobación del presupuesto. Eso ya abre las puertas para que los trabajos que se están haciendo aquí son los correctos”, señaló.

| elheraldodetuxpan.com.mx | Martes 15 de Agosto de 2023 14. MÉXICO
INE pide ‘lanísima’ para 2024

Explosión en restaurante de Afganistán

AGENCIAS

KHOST, AFGANISTÁN

Al menos tres personas murieron y otras siete resultaron heridas, la mayoría de ellos migrantes de Pakistán, tras una potente explosión en un restaurante en el sureste de Afganistán, informaron fuentes oficiales, sin que se conozca de momento las causas.

La detonación tuvo lugar aproximadamente a las 11.00 hora local (2 pm de México) dentro de un restaurante de la provincia afgana de Khost, según un comunicado de la jefatura de policía provincial que detalla que la mayoría de las víctimas eran provenientes del vecino Pakistán.

“Murieron tres inmigrantes de Waziristán (una fronteriza ciudad

paquistaní), y otros siete están heridos”, indicó.

El texto no precisa si la explosión tuvo una causa accidental o se trató de un atentado.

Puente ferroviario colapsa en Noruega

AGENCIAS NORUEGA

Un puente ferroviario del sureste de Noruega que atravesaba un río crecido por las lluvias torrenciales de los últimos días se derrumbó, informaron las autoridades.

BaneNOR, organismo gubernamental encargado de la infraestructura ferroviaria noruega, indicó que la sección central del puente de vigas de acero sobre el río Laagen colapsó hacia el agua “debido a daños en los cimientos centrales del puente”.

Todo el tráfico a través del puente se detuvo hace una semana por temor a que la estructura se derrumbara debido al gran volumen de agua.

“BaneNOR acababa de empezar a investigar el alcance de los daños en el puente el lunes por la mañana cuando la parte central se deslizó hacia el río”, declaró la agencia en un comunicado.

El puente tiene una longitud de

172.5 metros y tres tramos. Está cimentado directamente sobre el lecho del río y se construyó en 1957.

Eivind Bjurstrøm, de Bane NOR, dijo que el derrumbe del puente “nunca supuso un peligro para la vida y la salud, lo cual me alegra mucho”.

La lluvia provocó la evacuación de miles de personas en el sureste de Noruega, donde una enorme cantidad de agua, repleta de árboles rotos, escombros y basura, bajaba por los ríos, habitualmente serenos, luego de días de lluvias torrenciales.

La tormenta Hans azotó el norte de Europa y provocó trastornos en el transporte, inundaciones y cortes de electricidad en toda la región nórdica y báltica. Al menos tres personas murieron.

La presa de un río hidroeléctrico en el sureste de Noruega colapsó al abrirse paso el agua, y un tren descarriló en la vecina Suecia cuando un terraplén ferroviario fue arrastrado por las inundaciones.

Ningún grupo armado ha reclamado responsabilidad por lo ocurrido.

Las víctimas provenían de la Línea Durand, como se conoce al límite reconocido internacionalmente como frontera

entre Pakistán y Afganistán. Estos migrantes forman parte de un grupo de paquistaníes que buscan refugio en un campamento en la región del Golán, de la provincia de Khostt.

El afgano Mujeeb Ur Rahman, residente de la zona y testigo ocular de la explosión, describió a EFE “un estallido fue muy fuerte, que afectó a un hotel y comercios cercanos”.

La Línea Durand ha estado por años pajo la presencia de grupos armados activos en ambos países, entre ellos el Tehreek-e Taliban Pakistan (TTP), el principal grupo talibán paquistaní independiente aunque ideológicamente vinculado a los talibanes afganos.

Miles de paquistaníes, principalmente pastunes, han huido en busca de refugio en el lado afgano.

Sismo sacude frontera entre India y Bangladesh

Un sismo sacudió el lunes la frontera entre India y Bangladesh, provocando temblores en algunas regiones de ambos países, informó el Servicio Geológico de Estados Unidos (USGS, por sus siglas en inglés).

De momento, las autoridades de ambos países no han reportado víctimas o daños en alguna de las dos regiones.

El sismo de magnitud 5.5 tuvo una profundidad de 10 kilómetros y se produjo a 18 kilómetros

al noroeste de Karimganj, en el estado de Assam, en el noreste de la India, y a unos 36 kilómetros al noreste de Sylhet, en el vecino Bangladesh, según el Servicio Geológico.

Los temblores se sintieron en varias partes de la región nororiental de la India, incluidos los estados de Assam, Arunachal Pradesh y Meghalaya.

También tuvieron presencia en Guwahati, la capital de Assam, se vio a los residentes salir corriendo de sus casas cuando los temblores se prolongaron durante varios segundos.

| elheraldodetuxpan.com.mx | Martes 15 de Agosto de 2023 .15 MUNDO
AGENCIAS GUWAHATI, INDIA

Katty Killer quiere ser goleadora histórica

Katty Killer es ejemplo vivo de que, cuando se quiere, se puede. En su andar en el balompié nacional ha hecho historia, ha roto marcas y va por más. En esta ocasión la artillera del América se encuentra a dos goles de convertirse en la goleadora histórica de la Liga MX Femenil, y a sus apenas 25 años, se auguran más distinciones y éxitos individuales, por lo que a su carrera le faltan páginas por escribir.

Con “Tecatito”, Rayados valdrá más millones que 11 equipos

AGENCIAS

ESTO

Está cerca. Todo se decidirá en esta semana después de la Supercopa de Europa. Pero todo es viable y Rayados podrá hacer realidad el ataque más poderoso de la Liga MX. Incluso podría ponerse en el top dentro de todo el continente americano, si es que logra la llegada de uno de los mexicanos más costosos en la actualidad como el Tecatito Corona.

En la Sultana del Norte podrán ostentar una ofensiva de miedo, con un valor mayor a los 45 millones de dólares. De esa forma rebasaría a las Águilas del América con todo su arsenal, quienes se quedarían por abajo de los Rayados por algunos millones. Esto según cifras otorgadas por el sitio Transfermarkt, especialista en el tema financiero de los equipos de futbol por alrededor del mundo.

El futbolista tricolor de 30 años, ya como todo un veterano y después de casi una década en Europa con clubes como Twente, Porto y Sevilla sólo redondearía una ya de por sí ofensiva temible con hombres históricos, de gran cartel y en gran momento, y que no se han cansado de hacer goles en su carrera, con más de 250 festejos tan solo en el futbol mexicano.

SERGIO CANALES, EL MÁS VALIOSO

El más costoso de todos sería un mediocentro ofensivo, con el dorsal número 10 y que también se acaba de incorporar con La Pandilla como uno de los refuerzos de lujo para el Apertura 2023. Sergio Canales llegó

a Monterrey como auténtica bomba tras un paso sobresaliente en el Betis de España. Su valor total es de más de 16 millones de dólares, es decir, es el mejor en ese rubro en toda la Liga MX. El ofensivo español apenas llegó y en tierras regiomontanas ya encontraron la solución a los penaltis debido a que ya marcó un par de anotaciones por esa vía en la Leagues Cup. Una situación que mantiene con vida a Rayados en el torneo binacional.

Inmediatamente después de Canales aparecería Jesús Corona, directo del Viejo Continente y considerado uno de los mejores exponentes de nuestro país por aquellos rumbos en los últimos años. El canterano de Monterrey volvería con un valor de 8.8 millones de dólares, bastante lejano a lo que llegó a valer en 2020 en el futbol portugués con los Dragones (32MDD). Pero también por encima del costo que tuvo cuando se fue en 2013 (2.5MDD). Con casi 50 goles en Europa, Tecatito llegaría con sed de revancha, tras unos últimos meses donde sufrió una lesión qué incluso lo alejaron del Mundial de Qatar 2022 y con apenas 90 minutos jugados en Selección en el último año.

¿QUIÉNES SON LOS MÁS VALIOSOS EN LA OFENSIVA RAYADA?

Germán Berterame es el siguiente en la lista. Lamentablemente para la causa norteña, el delantero argentino recién fue operado por una lesión que sufrió en la Leagues Cup y estará fuera de las canchas por algunos meses. Berte era el líder

de goleo en el certamen binacional, llevó la carga ofensiva y cumplió con creces. Por eso su alto valor de seis millones de dólares como el número nueve del equipo y con apenas 24 años. Maximiliano Meza es el que sigue en la poderosa ofensiva de Rayados de Monterrey con un valor de 5.4 millones de billetes verdes. El sudamericano ha sido un especialista a la hora de crear goles desde su llegada al equipo en 2019, pero también ha celebrado 30 veces, es decir, más de 50 tantos han pasado por los pies de Maxi en los últimos años.

En quinto lugar, pero no por eso menos importante, está Rodrigo Aguirre. El charrúa llegó al club gracias a lo que hizo en los Rayos del Necaxa. Sin embargo, en el norte del país no ha respondido a las expectativas que dé tenían de él. Aun así, ha marcado una decena de goles en más de 40 partidos, con un valor de 5 millones.

Lo mejor quedó para el final. Rogelio Funes Mori ya va de salida, y ya no vale los 10 millones qué llegó a costar en la temporada 2019-20. Pero es el goleador histórico de la ofensiva rayada, con más de 150 dianas. Aunque ahora sólo tiene un bajo costo de 3.5 millones de dólares, el Mellizo continúa como hombre importante que todavía puede dar algunas alegrías a su fanaticada.

Todo se decidirá en siguientes días. Lo que es un hecho es que Rayados está cerca de conformar el ataque más poderoso de la Liga y eso no es poca cosa.

Katty Killer suma 121 goles en su carrera profesional: 95 con Tigres y 26 con América, por lo que ha atemorizado a Desirée Monsiváis, quien posee el récord histórico de 122 tantos. Sin embargo, “no es algo que esté pensando, no es algo que tenga en mente cada que juego, lo que pienso cada vez que juego es dar mi mejor versión, dar lo mejor de mí para mi equipo. No me importa si son goles, si son asistencias, sea lo que sea, dar mi mejor versión, eso es lo único que me importa y de verdad es la mentalidad que tengo siempre”, expresó la jugadora de las Águilas. La delantera ha marcado cuatro goles en lo que va del Apertura 2023 de los 20 que ha sumado su equipo. En la jornada tres ante Santos, Katty hizo un hat trick en el estadio Azteca, pero no lo dimensionó al estar cerca de una marca histórica.

“Justo cuando metí esos goles, todo el mundo me decía de un récord, pero yo no entendía de qué me hablaban. Yo no sabía, te lo juro, yo no tenía idea de qué estaba pasando. Todas se acercaban conmigo, Karen Luna venía y me decía algo y yo no entendía, hasta que salgo y me dicen que estaba a un gol de alcanzar a Monsiváis, y yo, ¿por qué no me dicen?”, expresó entre risas.

NO COBRÓ POR RESPETO A PEREIRA, AUNQUE KATTY QUIERE SER LA GOLEADORA HISTÓRICA

En la semana anterior, las Águilas se enfrentaron ante Toluca en el estadio Azteca. La expectativa de la gente sobre si Katty rompería récord en ese partido se fue a los cielos. Sin embargo, desechó la oportunidad al ceder el balón a Andrea Pereira desde el manchón penal.

KATTY

KILLER SUEÑA CON EUROPA

Por otro lado, la Killer refrendó su compromiso con el equipo de Coapa y expresó emoción por los siguientes encuentros ante Barcelona y Real Madrid. “Sabemos la clase de jugadoras que son y al final es a lo que aspiramos muchas a ser algún día. Creo que las respetamos mucho, pero dentro del campo sabemos que tenemos que salir y competir con todo. Qué bonito que estos equipos vengan a competir a México. Que volteen a esta Liga habla muchísimo del impacto que estamos teniendo”.

| elheraldodetuxpan.com.mx | Martes 15 de Agosto de 2023 16. DEPORTES
ESTO
AGENCIAS

Actualmente, Verstappen es la cara de la Fórmula 1

AGENCIAS ESTO

No hay duda que hoy en día el único dueño de las pistas de la Fórmula Uno es Max Verstappen, pero en su equipo, Red Bull, consideran que no hará una carrera longeva en el serial porque podría perder la pasión.

“No creo que sea un tipo mucho como Fernando Alonso, por ejemplo. Puede que un día diga “eso es todo” cuando ya no se esté divirtiendo o la presión haya desaparecido. No creo que insista en continuar hasta que también tenga ese récord de siete títulos mundiales. Tiene que haber inspiración, tiene que haber pasión”, comentó Helmut Marko, asesor de Red Bull, para RacingNews365.

Aunque Max solamente tiene 25 años, prácticamente no tiene tiempo libre por tener que practicar y cumplir con compromisos de publicidad antes de cada carre-

ra. Esta situación, es lo que Marko apunta como uno de los motivos para pensar que su bicampeón no seguirá por mucho tiempo en la F1.

“Lo que a veces olvidamos es que Max tiene que pasar un día en el simulador antes de cada carrera. Ya tiene menos obligaciones de

marketing, pero todavía le quedan algunos días. Tiene que mantener su nivel de forma física. Esto deja relativamente poco tiempo para

el tiempo libre. Si continúa después de 2028, depende de cómo se desarrolle el deporte. Si ya no le atrae, si la fascinación desaparece, puedo imaginarlo colgando su casco de carreras”, explicó.

Max Verstappen aseguró que no solo quiere ser piloto

De hecho, antes del Gran Premio de Azerbaiyán Max Verstappen habló de su futuro y también dejó claro que hay otras cosas que le gustaría hacer, además de ser una estrella del automovilismo.

“Una vez que estás adentro, no siempre es lo que parece o lo que la gente piensa que es tu vida. Quiero decir, sí, es genial, es increíble y puedo hacer muchas cosas. Soy muy independiente. Pero siempre hay un límite para ciertas cosas, también tengo la pasión de montar mi propio equipo. Hay muchas cosas que me gustaría hacer aparte de conducir”, sentenció en su momento.

Paola Espinosa culpa a la Conade de retroceso

AGENCIAS ESTO

La doble medallista olímpica, Paola Espinosa, reconoció que existe un retroceso importante para los deportes acuáticos debido a la falta de apoyo por parte de la Comisión Nacional de Cultura Física y Deporte (Conade) que quitó las becas y salarios tanto a los atletas como a los entrenadores.

Espinosa Sánchez reconoció que, en administraciones pasadas, siempre hubo respaldo económico y el pago puntual a cada uno de los integrantes del equipo multidiscilinario de los deportistas. Situación diferente a la que se vive en la actualidad.

“No es un secreto y no nada más es un paso, hay muchos pasos hacia atrás. En México hay mucho talento y a veces frustra mucho cuando los atletas están ocho horas diarias metidos en la alberca tratando de hacer trabajos perfectos. Sufriendo

con que no tienen para hacerse un masaje. No hay un fisioterapeuta, no hay un doctor cerca de ellos, no hay un nutriólogo, no hay un psicólogo. Lo están sufriendo ahorita y me atrevo a decir van a llegar por esfuerzo propio. Por el esfuerzo de su equipo muy cerradito que es su entrenador y ellos mismos”, dijo.

La medallista de oro en el Campeonato del Mundo de Natación en Roma 2009 confía en que, si bien es cierto es un fuerte golpe en contra de los deportistas, se podrán reporner y dar resultados en los próximos Juegos Olímpicos.

“Lo que han demostrado es que tienen muchas ganas de salir adelante y seguramente con eso van a salir. Pero me hubiera encantado que hubieran tenido todo el apoyo como yo en algún momento lo tuve. El atleta es muy fuerte mentalmente, es muy bueno para enfrentarse a situaciones complicadas, a situaciones difíciles y yo creo que pueden salir adelante”.

Luego de que surgieran rumores sobre la posible llegada de Sergio Ramos al América, parece que el defensa no vendrá a México.

Tras terminar su contrato con el PSG, Ramos se mantiene en el mercado como agente libre. De acuerdo con Fox Sports, las Águilas sí le ofrecieron una propuesta formal al campeón del mundo, sin embargo, el alto sueldo del futbolista impidió su llegada al Nido de Coapa.

Según el mismo medio, Ramos pidió una cantidad similar a las ganancias que generan en conjunto André Pierre Gignac y Sergio Canales.

El español, Sergio Canales sumará ganancias anuales de cerca de 93 millones de pesos, mientras que el francés gana aproximadamente 89 millones de pesos al año. Por su parte, Ramos le habría pedido al América un sueldo de 10 millones de euros, equivalentes a más de 180 millones de pesos mexicanos por año.

Tras conocer las pretensiones económicas del defensa, el Club América decidió retirarse de las negociaciones y parece que irán en busca de un elemento más económico, el elegido parece ser el defensa uruguayo, Bruno Méndez.

Por su parte, parece que Ramos continuará su carrera en el LAFC de la MLS o en algún club de la Superliga de Arabia. Sigue a la espera de una oferta atractiva.

| elheraldodetuxpan.com.mx | Martes 15 de Agosto de 2023 .17DEPORTES
ESTO
AGENCIAS
¡Estratosférico! El sueldazo que pedía Sergio Ramos

El callejón de los trancazos

CLAUDIA VIVEROS

Andrés no hace otra cosa que llamar a Xóchitl al “callejón de los trancazos”, (usted le puede colocar un adjetivo más jarocho si gusta) pero meterse ahí sería el peor error que la Gálvez pudiera hacer, ella dice que hay que tomarse con humor la contienda, yo le recomiendo que se lo tome a litros porque le va a hacer falta, y sea inteligente no dejándose llevar, sino darle la vuelta, todos sabemos que no hay nada mejor que empatizar a base de emoción y ella es buena para eso, ya la vi en un par de entrevista saltando en emociones y hasta derramando un par de lagrimitas (sin exagerar) cosa que le aplaudo, pero más que drama, la gente quiere cosas buenas, hechos simples, storytelling que les penetre en la psique y que los espejee.

Es por ahí Xóchitl.

De un par de semanas a la fecha, veo a Andrés todas las mañanas “tirándole el maicito” a Xóchitl, intentando a toda costa, entre risita y risita, sacarla de sus casillas, pasándose la ley por el arco del triunfo (perdone usted, pero no se me ocurre de que otra forma más describirlo) y haciendo todo aquello que él mismo hace seis años, y hace 12 y durante toda su vida política reprobó, señaló y criticó, pero que ahora que él tiene el poder, hace sin mayor vergüenza. Y es que una cosa es estar dentro de palacio que fuera del él, ¿verdad Andrés?

Ha sacado a la luz pública incluso información sensible y confidencial de la mujer que saltó sin esperarlo a la contienda y que de pronto más que adversaria de las corcholatess se volvió la adversaria del inquilino número uno de Palacio Nacional. Porque el que quiera creer que las elecciones presidenciales serán una contienda entre algunos mexicanos que alzaron la mano para ser candidatos de su partido y su ideología, pues está perdido. La contienda del 2024 será una contienda entre Don Andrés y él o

la valiente que despunte para darle combate. La cosa es que ni si quiera hemos llegado a septiembre y las denuncias vuelan y al parecer se empiezan a hacer un recurso al que penosamente nadie hace caso y cuando digo nadie, es porque, si denuncian a nuestra figura presidencial, y éste en lugar de acatar, dar ejemplo y considerar los actos más razonables ante este tipo de reflejo de incomodidad, éste hace todo lo contrario, las ignora, pasa por alto, e incluso, sigue y sigue incurriendo en todo aquello que se le ocurre para aplacar, para denostar, la figura de la única que hasta ahorita he escuchado decir “yo no le tengo miedo al presidente”. Declaraciones fuertes, realmente, pero bien ganadas, pues por desgracia hemos estado viendo a un Andrés descolocado, poniendo palabras en la boca de alguien que no las dijo, aludiendo a hechos para sembrar cizaña, creando posturas tendenseosas, o como dicen los jóvenes de ahora, sembrando odio entre las masas, para que estas en redes se peleen, y lo sigan cual zombies.

Y a ella que apenas empieza obvio la desgasta. En comunicación política hay que ser muy inteligente para que ese desgaste no fulmine. Andrés es un experto en propaganda, sigue los 11 principios de Joseph Goebbels (Jefe de propaganda Nazi, mano derecha de Adolfo Hitler) al pie de la letra, ¿los conoce?

Si no es así aquí se los describo y le dejo de tarea que los encuentre en el discurso de Andrés, le aseguro que será una tarea que no le quitará mucho tiempo.

1.Principio de simplificación y del enemigo único. (Adoptar una única idea, un único símbolo. Individualizar al adversario en un único enemigo)

2.Principio del método de contagio. (Reunir diversos adversarios en una sola categoría o individuo. Los adversarios han de constituirse en suma individualizada)

3.Principio de transposición. (Cargar sobre el adversario los propios errores o defectos, respondiendo el ataque con el ataque. Si no puedes negar las malas noticias, inventa otras que

las distraigan)

4.Principio de la exageración y desfiguración. (Convertir cualquier anécdota, por pequeña que sea, en amenaza grave)

5.Principio de la vulgarización. (Toda propaganda debe ser popular, adaptando su nivel al menos inteligente de los individuos a los que va dirigida. Cuanto más grande sea la masa a convencer, más pequeño ha de ser el esfuerzo mental a realizar. La capacidad receptiva de las masas es limitada y su comprensión escasa; además, tienen gran facilidad para olvidar)

6.Principio de orquestación. (La propaganda debe limitarse a un número pequeño de ideas y repetirlas incansablemente, presentarlas una y otra vez desde diferentes perspectivas, pero siempre convergiendo sobre el mismo concepto. Sin fisuras ni dudas)

7.Principio de renovación. (Hay que emitir constantemente informaciones y argumentos nuevos a un ritmo tal que, cuando el adversario responda, el público esté ya interesado en otra cosa. Las respuestas del adversario nunca han de poder contrarrestar el nivel creciente de acusaciones)

8.Principio de la verosimilitud. (Construir argumentos a partir de fuentes diversas, a través de los llamados globos sonda o de informaciones fragmentarias)

9.Principio de la silenciarían. (Acallar las cuestiones sobre las que no se tienen argumentos y disimular las noticias que favorecen el adversario, también contraprogramando con la ayuda de medios de comunicación afines)

10.Principio de la transfusión. (Por regla general, la propaganda opera siempre a partir de un sustrato preexistente, ya sea una mitología nacional o un complejo de odios y prejuicios tradicionales. Se trata de difundir argumentos que puedan arraigar en actitudes primitivas)

11.Principio de la unanimidad. (Llegar a convencer a mucha gente de que piensa «como todo el mundo», creando una falsa impresión de unanimidad)

PARLAMENTO VERACRUZ AUTOPISTA PARA TRENES

Siempre que viene a Veracruz, el presidente Andrés Manuel López Obrador nos trae buenas noticias. Buenas noticias para nuestro Estado y para el país.

Y el fin de semana, nuevamente, AMLO estuvo en Coatzacoalcos, donde presentó la primera locomotora del Corredor Interoceánico del Istmo de Tehuantepec. También, se supo que el primer viaje será dentro de poco más de un mes.

La parte ferrocarrilera del Corredor se trata de una obra difícil de comprender por la mayoría de la gente porque no la tenemos a la vista.

Les platico lo que me explicaron a mí: el original ferrocarril transístmico se hizo en época de Porfirio Díaz. El trazo de las vías correspondía a los trenes de esa época. La tecnología de construcción también era la de hace más de un siglo. Y el criterio de planeación era completamente otro, porque buscaban enlazar al mayor número de poblaciones.

Las nuevas vías férreas que AMLO le está entregando al país libran las ciudades, para no pasar entre la gente y los coches, como era antes; y están construidas con menos curvas, subidas o bajadas, para que los trenes puedan ir más rápido, gastando menos combustible. Esa construcción es más cara, porque necesitas rebajar algunos cerritos o hacer más puentes y túneles, para que la vía quede lo más derechita posible.

Para entenderlo mejor, fue como si hubiera una carretera libre, con curvas y pasando por en medio de los pueblos, y AMLO hubiera construido una autopista. Eso es el Corredor Interoceánico: una autopista para trenes. El viaje que se hacía en más de ocho horas se tardará menos de cuatro, con ahorro de combustible y mayor seguridad. Hacía décadas que un Presidente de la República no construía un tren en México. De hecho, los que se inauguraron en la década de los 50, como el de Coatzacoalcos a Campeche, fueron los que empezó el gran Lázaro Cárdenas, con su visión modernizadora.

A los neoliberales del PRIAN les enoja que les digan sus verdades, pero es inevitable comparar que Ernesto Zedillo les privatizó los trenes a sus amigos, entre ellos algunos gringos y uno de los mayores contaminadores del país, el minero Germán Larrea.

AMLO, en cambio, con el Transístmico y el Tren Maya está devolviendo esta industria al pueblo de México. Para orgullo nuestro, con énfasis en el sur de nuestro Estado y el sureste del país, con proyectos que reactivarán nuestra economía y seguirán combatiendo a la pobreza, como ya se ha venido haciendo.

De hecho, hace unos días salió la noticia del Consejo Nacional de Evaluación de la Política de Desarrollo Social (Coneval) de que la pobreza en México se redujo 16 por ciento en el gobierno de AMLO.

Pero faltó precisar que Veracruz fue el mejor estado del país por la cantidad de personas que superaron la pobreza. ¡532 mil personas! De ellas, 203 mil dejaron la pobreza extrema y 329 mil la pobreza moderada. Además, en los cuatro años de AMLO y del gobernador Cuitláhuac García Jiménez, 309 mil personas mejoraron su vivienda y 492 mil mejoraron su alimentación.

Esas cifras le arden a la oposición y nos llenan de orgullo a veracruzanas y veracruzanos que apoyamos a AMLO y a Cuitláhuac.

Pd. Ya estamos a días del Maratón de la Ciudad de México. Y que conste que no me he rajado, aunque reconozco que no estoy al cien y no he podido entrenar. Pero ya estoy inscrito y esta semana le echaremos ganas. Me tocó el número 23125, por si gustan checarme en Internet. Yo espero no quedar en último. ¡Manden buenas vibras!

| elheraldodetuxpan.com.mx | Martes 15 de Agosto de 2023 18. OPINIÓN
JUAN JAVIER GÓMEZ CAZARÍN
SIN MEDIAS TINTAS
| elheraldodetuxpan.com.mx | Martes 15 de Agosto de 2023 .19 COMERCIAL

Los tipos de sangre (y sus características)

La cantidad precisa de sangre en el cuerpo de una persona dependerá de su tamaño. Además, la composición de la sangre varía de persona a persona. Esta diferencia de estructura es lo que determina el tipo de sangre de una persona.

Cada 2 segundos, una persona en los Estados Unidos necesita sangre, pero los suministros son bajos debido a la COVID-19. Para obtener más información sobre la donación de sangre y cómo puedes ayudar, visita nuestro centro especializado.

El tipo de sangre de una persona depende de los genes que heredó de sus padres.

ABO es el sistema más conocido para agrupar tipos de sangre, aunque existen otros métodos. Hay cuatro categorías principales dentro del grupo ABO: A, B, O y AB. Dentro de estos grupos, hay otros ocho tipos de sangre.

Cada 2 segundos, una persona en los Estados Unidos necesita sangre. Cuando una persona necesita una transfusión, los médicos deben administrarle el tipo de sangre correcto. El tipo de sangre incorrecto puede desencadenar una reacción adversa que podría poner en peligro la vida.

¿En qué consiste un tipo de sangre?

Los principales componentes de la sangre son: Glóbulos rojos, que transportan oxígeno a todo el cuerpo, glóbulos blancos, que juegan un papel crucial en el sistema inmunitario, plasma, que es un líquido amarillento que contiene proteínas y sales y plaquetas, que permiten la coagulación.

El grupo sanguíneo dependerá de los antígenos que se encuentren en la superficie de los glóbulos rojos.

Los antígenos son moléculas. Pueden ser proteínas o azúcares. Los tipos y características de los antígenos pueden variar de persona a persona debido a pequeñas diferencias genéticas.

Los antígenos en la sangre tienen varias funciones, que incluyen:

Transportar otras moléculas dentro y fuera de la célula, mantener la estructura de los glóbulos rojos y detectar células no deseadas que podrían causar enfermedades.

Los científicos usan dos tipos de antígenos para clasificar los tipos de sangre: Antígenos ABO y antígenos del sistema Rh.

Los antígenos y anticuerpos juegan un papel en el mecanismo de defensa del sistema inmunitario.

Los glóbulos blancos producen anticuerpos. Estos anticuerpos identificarán un antígeno si lo consideran un objeto extraño.

Por eso es esencial que los tipos de sangre sean compatibles cuando una persona necesita una transfusión.

Según la Cruz Roja Estadounidense, si una persona recibe glóbulos rojos con antígenos que aún no están presentes en su sistema, su cuerpo rechazará y atacará los nuevos glóbulos rojos.

Esto puede provocar una reacción grave y poner en riesgo la vida.

ABO y los tipos de sangre más comunes

El sistema de grupos sanguíneos ABO clasifica los tipos de sangre de acuerdo con los diferentes tipos de

antígenos en los glóbulos rojos y los anticuerpos en el plasma.

Se usa el sistema ABO junto con el estado del antígeno del sistema RhD para determinar el tipo o tipos de sangre para una transfusión segura de glóbulos rojos.

Hay cuatro grupos ABO:

Grupo A: La superficie de los glóbulos rojos contiene antígeno A y el plasma tiene anticuerpos anti-B. El anticuerpo anti-B atacaría las células sanguíneas que contienen antígeno B.

Grupo B: La superficie de los glóbulos rojos contiene antígeno A y el plasma tiene anticuerpos anti-B. El anticuerpo anti-A atacaría las células sanguíneas que contienen antígeno A.

Grupo AB: Los glóbulos rojos tienen antígenos A y B, pero el plasma no contiene anticuerpos anti-A ni anti-B. Las personas con el tipo AB pueden recibir cualquier tipo de sangre ABO.

Grupo O: El plasma contiene anticuerpos anti-A y anti-B, pero la superficie de los glóbulos rojos no contiene antígenos A o B. Dado que estos antígenos no están presentes, una persona con cualquier tipo de sangre del sistema ABO puede recibir este tipo de sangre.

Factor Rhesus

Algunos glóbulos rojos tienen factor Rh, también conocido como antígeno RhD. La agrupación Rhesus agrega otra dimensión.

Si los glóbulos rojos contienen el antígeno RhD, son RhD positivos. Si no es así, son RhD negativos.

Donante universal y receptor universal

La sangre O negativa no contiene antígenos A, B o RhD. Casi cualquier persona con cualquier tipo de sangre puede recibir estos glóbulos rojos. Una persona con sangre del grupo O negativo es un donante universal.

Una persona con sangre tipo O negativo puede donar a casi cualquier persona.

Una persona con sangre tipo Rh negativo puede donar a una persona con sangre tipo Rh negativa o Rh positivo.

Una persona con sangre tipo Rh positivo solo puede donar a una persona con sangre tipo RH positivo. Como resultado, existe una gran demanda de sangre O negativa, aunque menos del 10% de la población de los Estados Unidos tiene este tipo. Las reglas para el plasma son opuestas a las del Rh. Un donante de plasma universal tendrá sangre tipo AB.

| elheraldodetuxpan.com.mx | Martes 15 de Agosto de 2023 20. DE INTERÉS

¡Fue un ajuste de cuentas!

Hallazgo de desmembrados en dos casas de seguridad, fue derivado a disputa entre delincuentes

REDACCIÓN XALAPA, VER.

El gobernador Cuitláhuac García Jiménez consideró que los hechos de violencia registrados en Poza Rica, con el hallazgo de cuerpos desmembrados en dos casas de seguridad, es derivado de una disputa entre grupos delincuenciales que operan en la zona.

En la conferencia de prensa de este lunes garantizó que habrá segu-

ridad a la población en general de la ciudad del norte del estado, pues no quieren que este ajuste de cuentas entre grupos delictivos continúe.

Aseguró que las seis detenciones que se lograron ayer domingo son buenas para mandar la señal de que no se permitirá que haya impunidad y que “vamos parejos” en contra de cualquier grupo.

“Se trata, hasta ahorita lo que tenemos como Secretaría de Seguridad Pública, es estos ajustes

que ya tiene rato”.

Además, consideró que también podría estar relacionada con la detención de dos presuntos delincuentes conocidos como alias el “El Hans” y “El Shrek” la semana pasada.

Finalmente, recordó que fueron detenidos policías municipales previamente y mandos policiacos de Tihuatlán y Poza Rica, debido a los presuntos vínculos con la delincuencia.

¡Causa daños!

REDACCIÒN

MARTÍNEZ DE LA TORRE, VER.

Un automóvil de la marca Chevrolet, tipo Aveo, conducido por un vecino de la colonia Vega Redonda, terminó subida al camellón central del bulevar Manuel Ávila Camacho, frente a las instalaciones del antiguo Ingenio Independencia, dejando como saldo daños materiales cuantiosos y lesiones leves.

Fue alrededor de las 6:00 horas de este lunes sobre el antes mencionado bulevar, en Villa Independencia, por dónde circulaba la unidad Chevrolet Aveo, con placas de circulación YRY321A, conducida por Crisóforo G. I., vecino de la colonia Vega Redonda.

De acuerdo al reporte, el conductor del automóvil particular perdió el control de su vehículo luego de que comenzó a sentirse mal por una aparente enfermedad, terminando sobre el camellón y derribando un poste de alumbrado y dos luminarias.

Luego del incidente las corporaciones fueron alertadas movilizándose al sitio elementos de la Policía Municipal, Tránsito y paramédicos de Cruz Roja Mexicana, el conductor fue valorado por los paramédicos mientras que el personal de Tránsito Municipal se hizo cargo de retirar el vehículo siniestrado para deslindar responsabilidades.

Arde terreno

REDACCIÓN

La Secretaría de la Defensa Nacional a través de la Comandancia del 5/o. Batallón de Ingenieros de Combate, informa a la población que personal del Ejército Mexicano llevó a cabo la aplicación del Plan DN-III-E.

Después de recibir una alerta por parte del Coordinador Regional de Protección Civil, referente a un incendio en pastizal en la Sierra

de Otontepec el personal del 5/o. Batallón de Ingenieros de Combate se trasladó a citado Municipio, con el fin de aplicar el Plan DN-III-E en apoyo a la sofocación del incendio.

El fuego se controló en su totalidad; sin embargo, el resultado de las afectaciones fue de aproximadamente de 40 hectáreas de terreno en pastizal dañadas.

Con el objeto de evitar que la proliferación de incendios forestales, ocasionados por descuidos en la utilización del fuego sigan causando graves daños a la naturaleza, se extiende una invitación a la

población a continuar colaborando en el cuidado de nuestro entorno, llevando a cabo las medidas preventivas para reducir las acciones que favorezcan el desarrollo de este tipo de fenómenos.

Con estas acciones la secretaría de la Defensa Nacional refrenda su compromiso y responsabilidad al pueblo de México de servir ininterrumpidamente, en toda condición y lugar, para reducir los estragos ocasionados por estas eventualidades, prestando ayuda para el mantenimiento del orden, auxilio de las personas y sus bienes.

| elheraldodetuxpan.com.mx | Martes 15 de Agosto de 2023 .21 POLICÍACA
CERRO AZUL

REDACCIÒN MINATITLÁN

Con una grave lesión en el rostro, resultó una mujer luego de que el vehículo de alquiler en el que viajaba de copiloto chocara contra un poste de la Comisión Federal de Electricidad (CFE), que se encuentra en calles de la colonia Petrolera de Minatitlán, municipio que se localiza al sur de la entidad veracruzana; recibió apoyo de paramédicos que se encargaron de trasladar a un hospital; el chofer presuntamente escapó a bordo de otro taxi.

Este accidente fue reportado de madrugada y sucedió en la calle 5 de la colonia mencionada, luego de que presuntamente el conductor jugaba arrancones con otra unidad.

¡Lo matan!

Al interior de un local de reparación de celulares, varón fue ultimado de impactos de bala

REDACCIÒN

XALAPA , VER.

La tarde de este lunes un hombre fue asesinado al interior de un local comercial en la zona de los sauces a unos metros de la clínica 66 del Instituto Mexicano de Seguro Social (IMSS) en Los Sauces.

Los hechos ocurrieron cuando un trabajador de un local de reparación de celulares fue ata-

cado a balazos por parte de personas desconocidas.

Algunos testigos señalan que el trabajador estaba sentado al momento de recibir al menos seis impactos de bala.

Tras el ataque llegaron al sitio paramédico para brindarle auxilio al hombre que ya no presentaba signos vitales.

Como resultado del ataque, los comicios de la zona decidieron bajar cortinas ante el temor

Capturan a policía

Autoridades detienen a elemento implicado en el asesinato del estudiante Alexis Moreno

REDACCIÒN COATZACOALCOS

El Policía Estatal José Antonio “N”, presunto agresor de dos jóvenes que viajaban a bordo de un vehículo en el municipio de Coatzacoalcos y que provocó la muerte de uno de ellos, se dio a conocer que la Fiscalía General del Estado de Veracruz (FGE), cumplió una orden de aprehensión en contra de él.

En el informe se menciona que elementos de la Policía Ministerial cumplieron lo mencionado en contra del policía de la Secretaría de Seguridad Pública (SSP), José Antonio “N”, como presunto responsable de los delitos de homicidio doloso calificado.

Esto en contra de la víctima con iniciales de A.M.M, y lesiones dolosas, abuso de autoridad, falsedad ante la autoridad y falsas denuncias cometido en agravio de R.S.A.

Además se señala que fue respetando sus derechos humanos y el debido proceso, la Fiscalía Regional Coatzacoalcos lo presentó en audiencia inicial ante el Juez de Proceso y Procedimiento Penal Oral, donde realizó la imputación, dictando como medida cautelar de prisión preventiva oficiosa por dos años, dentro del proceso penal 723/ 2023.

Las acciones que cometió el elemento de la Policía Estatal ocurrieron el pasado miércoles

que generó la agresión. Cabe destacar que algunas personas presentaron crisis nerviosas luego de este crimen.

Al sitio también llegaron elementos de la Policías Municipal y de la Secretaría de Seguridad Pública (SSP), además de personal de la Policía Ministerial.

Los elementos policiacos implementaron un operativo para ubicar al o los responsables de este homicidio.

El fuerte impacto contra el concreto provocó que la pasajera se golpeara gravemente contra el parabrisas del vehículo Nissan tipo March que causó una grave lesión que podría

provocarle la pérdida de un ojo. De acuerdo con testigos, el responsable que realizaba con otras unidades arrancones, abandonó la zona del accidente con ayuda de otro vehículo de la misma modalidad.

Elementos de la Policía Municipal y la Secretaría de Seguridad Pública (SSP) apoyaron y abanderaron el camino, mientras que la lesionada recibía ayuda de los socorristas que llegaron luego del reporte hecho a través del número de emergencias 911; fue trasladada a un hospital donde tratarán de salvarle uno de sus ojos, pues la lesión que tuvo fue en gran parte de su rostro.

La unidad fue trasladada a un corralón para deslindar responsabilidades donde deberá presentarse el propietario con la documentación que lo acredite como de su propiedad, además para que proporcione datos sobre el presunto responsable del accidente.

9 del presente mes en la colonia Benito Juárez, cuando Alexis y Raúl viajaban en un vehículo particular color rojo y fue que a la altura de Plaza Fórum los elementos de la Secretaría de Seguridad Pública (SSP), los detectaron y solicitaron dete

ner la marcha que ocasionó una supuesta persecución. Durante ese momento el

ahora detenido accionó presuntamente su arma y lesionó de gravedad al joven Alexis “N” quién contaba con 23 años de edad y era estudiante de enfermería en Chetumal, Quintana Roo.

Ese día, el joven fue atendido por paramédicos y trasladado inmediatamente al Hospital General de la Zona 36 del

Instituto Mexicano del Seguro Social, sin embargo, minutos después perdió la vida por las heridas que presentó.

Mientras tanto Raúl “N”, que era el conductor del automóvil Kia, fue detenido por los elementos policiacos y trasladado a las instalaciones de la Policía Estatal, donde estuvo durante 48 horas, siendo liberado, por no encontrarse pruebas en su contra por su probable responsabilidad en los hechos, así informó la Fiscalía General del Estado de Veracruz (FGE), luego de que fue liberado.

Así mismo, informó la autoridad que continuaban realizando las investigaciones de estos hechos que ahora da como resultado la detención del elemento policiaco, José Antonio “N”, y fue detenido por elementos de la Policía Ministerial que cumplieron la orden de aprehensión.

| elheraldodetuxpan.com.mx | Martes 15 de Agosto de 2023 22. POLICÍACA
-
Fuerte
impacto

Ejecutan a coordinador

REDACCIÒN YANGA, VER.

Percance vehicular

Por falta de precaución, conductor pierde el control de su unidad y termina fuera de la cinta asfáltica

REDACCIÒN

JILOTEPEC, VER.

La falta de precaución del conductor, ocasionó que perdiera el control de su unidad y terminara fuera de la cinta asfáltica.

Este accidente se registró sobre la carretera estatal Misantla-Xalapa, a la altura del panteón municipal del municipio de Jilotepec.

Fueron paramédicos de la CRUM quienes acudieron a

brindar el auxilio a los pasajeros, quienes afortunadamente, no necesitaron traslado al hospital más cercano.

Personal de Tránsito del estado realizaron el peritaje correspondiente y ordenaron el levantamiento de la unidad, la cual, tuvo que ser enviada al corralón oficial.

Se trata de un automóvil Renault color azul con placas de circulación del estado, los tripulantes se dirigían a la capital del estado.

Detienen a narcomenudistas

Se les incautaron cerca de treinta dosis de droga

REDACCIÒN PAPANTLA, VER.

Elementos de la secretaría de seguridad pública Municipal lograron la captura de dos narcomenudistas, a quienes se les incautaron cerca de treinta dosis de droga. Ellos mismos dijeron ser miembros de una célula delictiva.

En la revisión de rutina en la calle Tlaxcala de la colonia Independencia, los unifor -

mados detuvieron a Braulia

Guadalupe L. J., de 24 años de edad, a quien se le encontraron 17 dosis de cristal. A José Esteban

L. R., le hallaron 12 bolsitas de marihuana.

De acuerdo con datos aportados por la Policía Municipal, esos sujetos pertenecen a una celula delictiva que opera en esta región. Ambos quedaron a disposición de la Fiscalía General del Estado para la responsabilidad que les resulte.

De varios impactos de arma de fuego fue asesinado el coordinador de la juventud en el municipio de Yanga, Fidel González Ramírez en las afueras de su domicilio particular ubicado en la Colonia Centro; ejecución que generó una inmediata movilización de cuerpos policiales y de personal de la Fiscalía.

El joven de aproximadamente 25 años de edad, hijo de un conocido médico de Yanga, se desempeñaba como coordinador de la Juventud en dicha municipalidad, desde el 04 de marzo del 2022, cuando le fue entregado su nombramiento de manos del presidente municipal Fernando Nicolás Gordillo Torres.

Alrededor de las dos de la madrugada de este lunes, el joven coordinador presumiblemente llegaba a su vivienda una vez que concluyeron las actividades del Carnaval que se desarrolló del jueves 10 al domingo 13 de agosto, pero ya lo esperaban dos hombres, quienes sin mediar palabras le dispararon hasta privarlo de la vida y posteriormente darse a la fuga con rumbo desconocido.

¡Se accidenta!

Tras una falla mecánica, conductor de una camioneta se sale de la carretera

Tras una falla mecánica, conductor de una camioneta pierde el control y termina con la unidad fuera de la cinta asfáltica.

Este accidente se registró sobre la carretera estatal Misantla-Xalapa a la altura de la conocida curva el Mirador de la comunidad de Santa Rita, perteneciente al municipio de Yecuatla.

Conductores que transitaban la vía realizaron el reporte del accidente, por lo que, al lugar,

Tras el ataque, en cuestión de minutos, al lugar llegaron gendarmes de la Policía Municipal, Estatal y Ministerial, además de la Fuerza Civil y Guardia Nacional, así como paramédicos de PC Municipal quienes tras confirmar el fallecimiento del joven hombre, procedieron a acordonar y resguardar el

lugar para preservar la escena del crimen.

Fue el personal de Fiscalía con Peritos Forenses, quienes tomaron conocimiento y efectuaron el levantamiento del cuerpo, mismo que fue enviado al Semefo Regional del Ejido San Miguelito, de Córdoba para los trámites correspondientes.

arribaron policías municipales y paramédicos de la ambulancia de Yecuatla, quienes apoyaron a los tripulantes de la unidad. Se trata de una camioneta Nissan de rediles color rojo con

placas de circulación del estado, afortunadamente, en este percance solo se reportan daños materiales. La unidad fue remolcada y llevada al corralón oficial

| elheraldodetuxpan.com.mx | Martes 15 de Agosto de 2023 .23POLICÍACA
REDACCIÒN YECUATLA, VER.
De varios impactos de arma de fuego fue asesinado joven cuando llegaba a su vivienda

El tema de los menores trans es objeto de intenso debate en Estados Unidos.

Según cálculos de la Universidad de California en Los Ángeles (UCLA, por sus siglas en inglés), en toda la Unión Americana existen alrededor de 150 mil menores de edad con identidad de género trans, de los cuales una tercera parte están ya en alguna etapa de tratamientos médicos y sicológicos.

Algunas otras encuestas recientes, apoyadas por la Unión Americana de Libertades Civiles (ACLU, por sus siglas en inglés), consideran que en promedio suman 300 mil los menores trans en Estados Unidos, es decir, casi 1% de la población. Y de acuerdo con la Asociación Médica Americana, el total de transgéneros en la Unión Americana es de alrededor de 1.5 millones.

Sin embargo, gobiernos estatales republicanos en la Unión Americana han puesto en vigor leyes que prohíben total o parcialmente la práctica médica y sicológica para que los menores que quieran llevar a cabo su transformación o reafirmación de género no puedan hacerlo, o al menos no íntegramente.

Veinte estados de la Unión Americana la tienen muy restringida y de esos, al menos 13 bloqueada: Florida, Texas, West Virginia, Utah, Mississippi, Iowa, Arizona, Alabama, Dakota del Sur, Tennessee, Kentucky, Georgia y Arkansas. La ley de Florida es una de las más recientes, pero de las más agresivas también.

No sólo prohíbe la reafirmación médica de género, sino que criminaliza a los médicos que se atrevan a llevar a cabo el proceso. El gobernador de Florida, Ron DeSantis, quiere ser el candidato republicano a la presidencia de Estados Unidos en 2024.

La organización más grande en Estados Unidos defensora de los derechos LGBTI+, Human Rights Campaign (HRC), constató que entre 2022 y 2023 se han presentado en congresos locales más de 520 proyectos de ley estatales que van contra esta comunidad. De estos, 70 se convirtieron en ley. “Es evidente que el Partido Republicano ha tomado como bandera política su actitud antigay y peor, antitrans”, comenta a EL UNIVERSAL Hernán Molina, politólogo. Menores trans expresan su miedo ante estas leyes. “Nos vamos a quedar a la mitad, no voy a poder continuar con mi tratamiento; realmente estoy asustado. Quiero seguir adelante con quien quiero ser”, declara uno de ellos.

“Lo que deben recibir todos los jóvenes trans es lo mismo

EL DEBATE POR NIÑOS TRANS

Una asignatura estancada en Europa

Con un paso hacia adelante y uno hacia atrás, los derechos de las personas transgénero avanzan en Europa y Asia Central, aunque cuando se trata de menores de edad el camino por recorrer es aún más largo y complicado en el ámbito del reconocimiento legal del género y la autodeterminación.

Transgender Europe (TGEU), una red de ONG financiada por la Unión Europea (UE), reporta que 2022 marcó la reactivación de la agenda de los derechos de las personas trans en la región compuesta por 54 países, luego de la pausa por la pandemia. Indica que el avance fue mayor que el retroceso. España, Moldavia, Andorra, Finlandia e Islandia mejoraron sus notas. Eslovaquia recordó que existe aún el riesgo de retroceso; 41 países ofrecen medidas legales o administrativas a disposición de las personas trans en el reconocimiento de su género. En Asia Central sólo Kazajistán ofrece reconocimiento legal del género.

“Los derechos de las personas trans siguen avanzando, sobre todo en lo que respecta al reconocimiento legal del género, tras los lentos progresos de 2021. Pero no podemos dormirnos en los laureles, como demuestra el actual ejemplo de reacción violenta contra las personas trans en Eslovaquia”, sostiene Freya Watkins, investigadora y activista de TGEU. “Sin embargo, los avances deben ser más rápidos en el caso de las comunidades trans más marginadas, en particular los jóvenes trans, que son los primeros en ver restringidos sus derechos”.

que buscan los menores heterosexuales: amor, atención y respeto”, dijo recientemente Robert Marx, especialista en Desarrollo Infantil y Adolescente, de la universidad de San José, California. “Necesitan sentirse incluidos y ser parte importante de una familia”.

EL PROCEDIMIENTO

Mientras que, en algunos estados, para poder llevar a cabo la transición un menor de edad requiere de la autorización de sus padres, o al menos de uno de ellos, hay otros, como en Vermont, donde basta que el menor lo solicite. Por lo general, el procedimiento inicia con un sicólogo que deberá certificar que la persona necesita llevar a cabo el proceso de reafirmación de género. Posteriormente el paciente iniciará la recepción de terapias hormonales guiadas a través de un endocrinólogo, durante por lo menos nueve meses.

El procedimiento de hombre a mujer se denomina vaginoplastia y el de mujer a hombre, faloplastia. De inicio a fin, el proceso de reafirmación de género puede tomar de uno a dos años.

EL CASO JAZZ JENNINGS

Una de las historias de menores trans más conocidas es la de Jazz Jennings, una chica que hoy tiene 22 años y sigue siendo una de las caras más connotadas en defensa de la reafirmación de género en menores. “Cuando yo

tenía cinco años los médicos me diagnosticaron lo que se llama disforia de género, lo que quiere decir una diferencia profunda entre el género biológico y el mental”, declaraba Jazz a los 14 años, y quien desde los seis ya había pasado por toda la preparación sicológica y médica para verse como mujer.

A los 13 años escribió y presentó su primer libro titulado Mezclilla, donde expone lo que significa para ella ser trans y qué implica una vida así. Su libro puso en el debate estadounidense y mundial el tema de a qué edad debe atenderse la identidad de género de un menor. En 2014 la revista Time la mencionó dentro del grupo de los adolescentes más influyentes de ese año.

LOS COSTOS

Cada ciudad estadounidense y, en particular cada institución médica, maneja sus propias tarifas, las cuales, debido al procedimiento, son poco accesibles al público.

Tratándose de un estado sin restricciones para la reafirmación de género, y de acuerdo con el Philadelphia Center for Transgender Surgery, los costos promedio para una vaginoplastia son de unos 150 mil dólares (alrededor de 2 millones 500 mil pesos mexicanos). Para una faloplastia, es de aproximadamente 125 mil dólares (unos 2 millones 200 mil pesos).

Estos precios pueden ser par-

El acceso de los jóvenes trans al reconocimiento legal de su sexo sigue siendo muy inferior al de los adultos. En la mayoría de los países el cambio de sexo en el Registro Civil sólo es posible a partir de los 18 años. En algunos países como Bélgica y Holanda es posible solicitarlo desde los 16, en Noruega a partir de los seis años previo consentimiento paterno, y Luxemburgo, desde los cinco años. Solamente 16 países registran procedimientos destinados a atender las necesidades de los menores, de los cuales ocho ofrecen reconocimiento legal de género sin límite de edad y ocho establecen una edad mínima. En cuanto al proceso de reconversión por vía médica, el peldaño es más alto para niños y adolescentes. En el ámbito de la infancia, TGEU observa un estancamiento e incluso un retroceso reciente, con restricciones de edad en materia de tratamientos hormonales y quirúrgicos. El mayor varapalo al movimiento tuvo lugar en Suecia. El Estado metió reversa en los tratamientos a menores por recomendación de la autoridad sanitaria del país, la Socialstyrelsen. A partir de febrero suspendió el acceso de los menores a tratamientos hormonales para reasignar el género. Previamente, en diciembre, había restringido drásticamente la práctica de mastectomías en adolescentes. Justificó la medida en respuesta al aumento de los casos de disforia de género. Alrededor de 8 mil 900 personas fueron diagnosticadas entre 1998 y 2021. Los reflectores mediáticos se colocaron en los casos de 19 menores que en 2019 habrían padecido efectos secundarios severos por intervenciones. España introdujo el 2 de marzo la ley para la igualdad real y efectiva de las personas trans y para la garantía de los derechos de las personas LGBTI+, la cual fijó el derecho a la autodeterminación a partir de los 12 años. De acuerdo con la normativa, se prohíben todas aquellas prácticas de modificación genital en personas menores de 12 años, salvo en los casos en que las indicaciones médicas exijan lo contrario en aras de proteger la salud de la persona.

“En el caso de personas menores entre 12 y 16 años, sólo se permitirán dichas prácticas a solicitud de la persona menor siempre que, por su edad y madurez, pueda consentir de manera informada a la realización de dichas prácticas”, indica la ley española. Con el objetivo de cumplir dicho derecho, el Congreso de los Diputados incorporó los tratamientos masculinización o feminización, hormonales y quirúrgicos para las personas trans a la cartera de servicios comunes del Sistema Nacional de Salud.

En el caso de Holanda, el límite de edad para la cirugía de género depende de lo que se quiera exactamente. En Países Bajos una operación para la extirpación mamaria es permitida a partir de los 16 años y luego de haber tomado hormonas de reafirmación sexual por un año. Para las demás operaciones, debe tener al menos 18 años. La lista de espera para atención clínica de género ha aumentado en los últimos años, en la actualidad es de tres años para iniciar el proceso.

Martes 15 de Agosto de 2023 24. ESPECIAL | elheraldodetuxpan.com.mx | PRIMERA SECCIÓN Lunes 07 de Agosto de 2023 06. el Heraldo de Coatzacoalcos
MAX AUB MIAMI, EU.
En toda la Unión Americana existen alrededor de 150 mil menores de edad con identidad de género trans, de los cuales una tercera parte están ya en alguna etapa de tratamientos médicos y sicológicos.

cial o totalmente cubiertos a través del seguro médico con el que se cuente. Pero además hay que considerar los cuidados posoperatorios, que pueden ascender a unos 100 mil dólares (unos 1.7 millones de pesos), que saldrían de la bolsa del interesado o interesada.

Las personas transexuales son de los sectores más golpeados y discriminados de la sociedad. Han tenido que dar la batalla incluso por baños “sin género”.

El debate sobre las personas trans alcanza los eventos deportivos, donde se les ha prohibido a las chicas trans, en casi todos los estados de la Unión Americana gobernados por republicanos, participar en justas deportivas y competencias, al considerar que haber nacido como hombres les da una composición en el sistema óseo y muscular que significa una ventaja.

EN COSTA RICA SE VIVE

LUCHA CONTRA CORRIENTE

A la Asamblea Legislativa de Costa Rica ingresó en junio uno de los proyectos de ley más controversiales en más de siete décadas de historia parlamentaria costarricense: permitir el cambio registral de sexo a partir de los 12 años de edad.

Más que definir elementos esenciales del cambio de género en un país que desde 2020 autorizó el matrimonio igualitario o unión civil entre personas del mismo sexo, la polémica surgió por la edad y sin necesidad del consentimiento de sus progenitores. ¿Tendrá un niño o una niña de 12 años suficiente capacidad y formación mental para discernir qué es lo que más le conviene y acceder al derecho de cambiar de sexo?

“Esto es impensable”, acusó el diputado David Segura, del opositor y derechista Partido Nueva República. “Sobre mi cadáver pasan este proyecto”, anticipó el diputado Leslye Bojorges, del opositor y centroderechista Partido Unidad Social Cristiana. Presentada por ocho diputados opositores —seis del izquierdista Frente Amplio y dos del centroderechista Partido Liberación Nacional— el 22 de junio, la iniciativa pareció quedar confinada al rechazo mayoritario de los 57 legisladores y deberá luchar contra corriente para evitar perderse y quedar en el olvido. El proyecto fue tildado en distintos ámbitos de la Asamblea como “nefasto”, “perverso” y “destructor de familias”. Costa Rica permitió desde 2018 que las personas mayores de 18 años pidan al (estatal) Registro Civil el cambio registral de nombre —por una única vez— por género autopercibido. El proceso aprobado tampoco obliga a cirugías y otros tratamientos, al considerar que el sexo biológico es distinto al autopercibido por un ser humano.

El nuevo proyecto planteó que “toda persona costarricense, sea por nacimiento o naturalización, con 12 años cumplidos” puede solicitar “la rectificación registral del sexo, el cambio de nombre de pila o imagen”, y según los requisitos establecidos en esa ley. Los diputados defendieron su propuesta al alegar que “la ausencia de políticas públicas integrales e inclusivas con enfoque económico y social” provoca que “las infancias trans, desde temprana edad, deban enfrentar limitaciones en el acceso a sus derechos”. Basados en estudios de la Comisión

Interamericana de Derechos Humanos (CIDH), que integra la Organización de los Estados Americanos (OEA), alertaron de “situaciones alarmantes” que “evidencian la deuda pendiente por parte de la institucionalidad” a ese sector.

La CIDH advirtió que “el alto número de personas trans tempranamente expulsadas de su núcleo familiar, sin importar su origen económico o social, termina por traducirse en un número también alto de personas trans severamente empobrecidas a lo largo de su vida”, recordaron.

Según la comisión, “esa expulsión del hogar puede significar terminar en situación de calle, o bien en arreglos habitacionales precarios y teniendo que procurarse un sustento de supervivencia desde inicios de la adolescencia, todo lo cual condiciona seriamente las posibilidades de mantenerse dentro del proceso educativo”, subrayaron. El plan ofrece la opción voluntaria de recurrir a cirugías “de afirmación de género”: mamoplastia, genitoplastia feminizante, penectomía, orquiectomía, vaginoplastia,

liposucción, injerto de grasa, mastectomía, genitoplastia masculinizante, metoidioplastia, faloplastia, tiroplastia, histerectomía, salpingooforectomía, y las que “surjan” por “avances y descubrimientos científicos”. “Las personas trans, no binarias, de género diverso e intersex de todas las edades tienen derecho”, entre otras, a “realizarse las cirugías necesarias para garantizar los derechos reconocidos en la presente ley y procedimientos de remoción del vello permanente, cuando la persona lo decida”, añadió.

Martes 15 de Agosto de 2023 .25 ESPECIAL | elheraldodetuxpan.com.mx |
.07 el Heraldo de Coatzacoalcos
PRIMERA SECCIÓN Lunes 07 de Agosto de 2023

En las cárceles de la Ciudad de México se cometieron en 2022 41 mil 440 delitos por personas privadas de la libertad/ internadas en prisión, revela el Censo Nacional de Sistema Penitenciario Federal y Estatal 2023 del Instituto de Estadística y Geografía (Inegi).

Esto coloca a los penales de la capital en el segundo lugar de incidencias, por debajo del Estado de México, en donde se cometieron 75 mil 833 delitos desde prisión.

Jalisco se ubica como la tercera entidad con más delitos, con 33 mil 941; Baja California, con 21 mil 621; cárceles federales distribuidas en diferentes entidades, en donde se cometieron 18 mil 976; Nuevo León, 13 mil 290, y Sonora, 12 mil 365.

A nivel nacional, el censo del Inegi arrojó que durante 2022 se cometieron 340 mil 863 delitos por las personas privadas de la libertad/internadas en cárceles.

Es decir, 18 mil 976 (5.6%) correspondió al ámbito federal y 321 mil 887 (94.4%) de los delitos provinieron de cárceles estatales. Del total, 321 mil 836 fueron cometidos por hombres y 19 mil 27 por mujeres.

De acuerdo con el instituto, en comparación con 2021, el total de los delitos cometidos por la población privada de la libertad/internada disminuyó 0.4% en 2022.

Con respecto a los delitos en centros federales, se cometieron en materia de armas, explosivos, y otros materiales destructivos, secuestro, privación de la libertad, delincuencia organizada y homicidio.

En cárceles estatales: robo, homicidio, violación, secuestro y delitos en materia de armas y explosivos y otros materiales destructivos.

Expertos analizan el caso de la capital. Las cifras anteriores reflejan un estado deplorable en las cárceles capitalinas, en donde se visualiza un autogobierno; además, el uso que las autoridades dan a los centros penitenciarios como una manera de abusar de la prisión preventiva oficiosa que aumenta la población, señalaron varios especialistas.

A estos factores se suma que, en muchos casos, las sentencias altas a los internos generan que no tengan beneficios y la única alternativa es cometer delitos o mantenerse bajo el yugo de un grupo criminal.

Para la investigadora y coordinadora del Programa de Justicia en la organización México Evalúa, Chrístel Rosales, que la ciudad sea la segunda entidad con más

EN CÁRCELES DE CDMX SE REGISTRAN 41 MIL DELITOS

Esto

población penitenciaria revela que sí hay algunas cárceles sobrepobladas.

En entrevista con EL UNIVERSAL, comentó que los reclusorios Norte y Oriente y la penitenciaría están saturadas.

“En términos de sobrepoblación, que es, digamos otro de los elementos que sí hay que considerar cuando nos preguntamos qué explica que se estén cometiendo delitos en los centros penitenciarios, si uno lo ve generalizado, la entidad [Ciudad de México] no reporta sobrepoblación (…); sin embargo, sí tenemos sobrepoblación en tres penales de la Ciudad de México”, afirmó Rosales.

“Quien tiene mayor sobrepoblación es el Reclusorio Preventivo Varonil Oriente, con 32%. De ahí le sigue la penitenciaría de la Ciudad de México, con 7%, y el Reclusorio Varonil Norte, 1%”, añadió.

La especialista de México Evalúa mencionó que haya o no sobrepoblación, existe un autogobierno y corrupción en las cárceles, en donde 97% tiene que pagar sobornos a los custodios para obtener diferentes servicios.

Los datos del Censo Nacional de Sistema

Penitenciario Federal y Estatal 2023 apuntan que existe una ocupación en las cárceles capitalinas de 90.8%, con 28 mil 96 camas en uso.

Además, es la segunda entidad con mayor número de personas privadas de la libertad, con 25 mil 503 reos, de los cuales mil 457 son mujeres y 24 mil 46 hombres.

El Estado de México es el que

PANORAMA DEL SISTEMA PENITENCIARIO

Actividad delictiva cometida desde cárceles y población internada en algunas entidades.

41 MIL

440 delitos se cometieron en prisiones de la Ciudad de México en 2022.

75 MIL

833 incidencias se registraron en cárceles del Edomex; primer lugar nacional.

90.8% ocupación en penales capitalinos, con 28 mil 96 camas asignadas.

tar ese tipo de sentencias, son completamente contrarias a la Constitución, que indica que el fin de la pena es la reinserción”, señaló.

Expresó que la legislación en cuanto a los delitos cometidos por el crimen organizado perjudica, porque los internos no tienen beneficios ni incentivos.

“¿Qué posibilidades tienen, incentivos para trabajar, para portarse bien en la prisión, para no hacer delitos? No, ninguno, no hay manera”, cuestionó Azaola.

Esto no sólo es dañino para el sistema penitenciario, sino para la sociedad, porque “está el escenario puesto para promover esto [delitos desde cárceles]”.

Comentó que los delitos desde los centros penitenciarios también los han propiciado los mismos gobiernos a través de sus políticas: “Por qué no van a cometer delitos si están enojados, están frustrados, no tienen salida. Si alguien les paga X cantidad por matar a alguien en la prisión, lo van a hacer”.

más población penitenciaria reporta, con 34 mil 772, y una tasa de ocupación de 242%, lo que la convierte en la número uno a nivel nacional.

En este sentido, el Inegi precisa para la Ciudad de México que por cada 100 mil hombres, 561 están en prisión, y por cada 100 mil mujeres, 31 están privadas de su libertad.

Para Chrístel Rosales, las investigaciones de México Evalúa detectaron que en las cárceles de la ciudad siete de cada 10 presos tienen ya sentencia, en comparación con otras entidades del país, en donde seis de cada 10 o incluso cinco de cada 10 tienen condena.

Sin embargo, el censo del instituto refiere que del total de población privada de la libertad, 100% se encuentra en otro procedimiento jurídico, por lo que no queda claro si están en los centros por prisión preventiva oficiosa o justificada, o bien a punto de recibir una sentencia. Con respecto al tiempo que pasan la personas para conocer su sentencia, este puede ser de más de un año.

La investigadora Elena Azaola, del Centro de Investigaciones y Estudios Superiores en Antropología Social, dijo que todas estas características contribuyen a que las personas privadas de la libertad no tengan alternativa más que cometer delitos desde las cárceles.

“Hay personas que tienen sentencias de 200, 500 y 700 años, es decir, es gente que no tiene expectativa alguna de salir. Es un gran error dic-

32% sobrecupo en el Reclusorio Oriente, según investigadora.

25 MIL

503 personas privadas de la libertad hay en la Ciudad de México.

34 mil

772 población penitenciaria en el Estado de México.

La investigadora refirió que el tiempo que pasan las personas privadas de la libertad para obtener sentencia es alto, pero para las mujeres es lamentable, porque es más alto todavía.

Menores. A nivel nacional se reportó además que 325 menores de seis años permanecieron con sus madres privadas de la libertad, y que la mayoría se concentró en la Ciudad de México, con 36 casos.

Incidentes en el interior. Durante 2022, año de estudio del censo, se revela que en los centros penitenciarios de la ciudad se registraron 13 lesionados por riñas internas. En este apartado la institución no precisa si estas riñas son producto de alguna disputa entre grupos delictivos.

Martes 15 de Agosto de 2023 26. ESPECIAL | elheraldodetuxpan.com.mx | PRIMERA SECCIÓN Martes 08 de Agosto de 2023 06. el Heraldo de Coatzacoalcos
coloca a los penales de la capital en el segundo lugar de incidencias, por debajo del Estado de México, en donde se cometieron 75 mil 833 delitos desde prisión.
Martes 15 de Agosto de 2023 .27 ESPECIAL | elheraldodetuxpan.com.mx | PRIMERA SECCIÓN Martes 08 de Agosto de 2023 .07 el Heraldo de Coatzacoalcos

EL DRAMA DE LOS LIBROS DE TEXTO

Ya ve que esta semana todo el mundo en redes sociales y en medios se volvió experto en libros de educación inicial. Sí, reitero, toooodo el mundo. Porque las opiniones rebosaron. Periodistas, influencers, cristianos de a pie, todos quisieron decir algo, hacer un meme o sentar una posición. Que si a través de ellos se sembrará una idología comunista, que si estan mal hechos, que si tienen errores garrafales, que si ahora tienen muy poco contenido, etc. Y ya sabe, el deschongue no puede faltar, agarrándose de la greña, intentando validar y proteger a capa y espacada cada quién su postura. Alguién me dijo, estoy esperando con ansias su columna para ver que va decir sobre los libros de texto, y aunque esta semana mi objeti vo era hablar de otro ítem, pues no podía dejar pasar este tren ding topic. Le soy honesta, hay semanas que siento que no me alcanza una sola entrega, quisiera escribirles de muchas cosas que creo que son realmente importantes pero a veces no me alcanza con un solo texto y no quiero que esto se vuelva una miscelanea. Pero regresando a los famosos libros de texto.

LA ERA DE LA EBULLICIÓN GLOBAL: prioritario revertir el calentamiento

ES NECESARIO REALIZAR UN AJUSTE A LA FORMA EN LA QUE SE OCUPAN LOS RECURSOS NATURALES

António Guterres, secretario general de la Organización de las Naciones Unidas (ONU), afirmó hace unos días que la era del calentamiento global terminó para dar paso al periodo de ebullición mundial. “El cambio climático está aquí. Es aterrador. Y esto es sólo el principio. La era del calentamiento global ha terminado, ahora es el momento de la era de la ebullición global”, advirtió el líder de la ONU.

La Organización Meteorológica Mundial (OMM) y el Servicio Copernicus de la Comisión Europea han confirmado que julio de 2023 ha sido el mes más caluroso jamás registrado. Los datos de los organismos referidos revelan que en julio se han experimentado récords en todos los ámbitos: el lapso de tres semanas más caluroso, los tres días más calientes y las temperaturas oceánicas más altas para esta época del año.

En el caso de México, también 2023 fue el año en que se rompieron todos los récords de calor. En el primer semestre se tiene el reporte que la temperatura promedio a nivel nacional fue de 34.8 grados. En algunos estados del norte se superó la marca de los 45 grados, con sensación térmica de 50 grados.

La era de la ebullición es un término que describe el periodo actual en el que la Tierra está experimentando un aumento significativo en la temperatura debido al aumento de las emisiones de gases de efecto invernadero. Este fenómeno tiene graves implicaciones para nuestro planeta y su delicado equilibrio.

El calentamiento global está causando un aumento en la temperatura promedio de la Tierra, lo que a su vez provoca el derretimiento de los glaciares y las capas de hielo, el aumento del nivel del mar, la acidificación de los océanos y eventos climáticos extremos más frecuentes e intensos, como huracanes y olas de

calor. Estos cambios impactan negativamente en los ecosistemas terrestres y acuáticos, amenazan la biodiversidad y pueden tener consecuencias devastadoras para la agricultura, la seguridad alimentaria y la economía global.

En sintonía con los movimientos ecologistas, desde la Comisión de Medio Ambiente, Recursos Naturales y Cambio Climático del Senado, consideramos que para revertir esta problemática es crucial tomar medidas audaces y colectivas. En primer lugar, se debe reducir drásticamente la emisión de gases de efecto invernadero, mediante la transición hacia fuentes de energía renovable, como la solar y la eólica, así como promover la eficiencia energética en todos los sectores. La reforestación y la conservación de los bosques son esenciales para absorber el dióxido de carbono de la atmósfera.

Además, es fundamental adoptar prácticas agrícolas sostenibles y fomentar un consumo responsable para reducir la presión sobre los recursos naturales. Los gobiernos, la academia, la industria y la sociedad en su conjunto debemos trabajar unidos para implementar políticas y cambios en el estilo de vida que promuevan la reducción de la huella de carbono.

La educación y la concientización desempeñan un papel fundamental, es importante que las personas comprendan la magnitud del problema y las acciones que pueden tomar a nivel individual. Solo a través de un esfuerzo global concertado lograremos enfrentar la era de la ebullición y la sobrevivencia misma de nuestro planeta; de lo contrario no podremos vislumbrar ni siquiera un futuro para las generaciones venideras.

*Senadora de Morena por el Estado de Hidalgo

Le quiero decir que admiro a todos esos que ha opinado, porque me causa sorpresa que en tan poquito tiempo los hayan podido adquirir, y analizar tan profundamente como para dar una opinión. Si no fue así, si solo se dejaron llevar, por lo que dijo otro o lo que medio opino “Chuchito o Juanita” en su muro, pues que “intrepidos”. Yo hasta ahora no los he tenido en mi mano ni en mi computadora, y si lo tuviera me daría el tiempo necesario para revisarlos por completo. Ahora bien, que si los que estan ahora en el poder, desde su palacio están intentando sembrar ideología, pues apenas se están dando cuenta, porque yo veo a cierto individuo, haciendo comunicación política habilmente todos los días en su mañanera, marcando la agenda y “evangelizando”, sí, me permito tomar ese concepto, porque de verdad que pareciera que evangeliza, por lo menos a sus feligreses partidistas, que lo ven como su mesías, al que le tienen harto miedo y al que defienden a capa y espada. Así que estén intentando meter su cuchara en los libros que llegarán a los niños no me parece sorpresivo, si es que esto es del todo real, no lo sé, repito, no los he visto. Sinceramente el problema debería preocuparnos desde otros ángulos. A mi me preocupa más que los profesores que estan frente a grupo realmente esten capacitados para estarlo (yo sé que hay muchos que si lo están, pero también sé, que hay otros más que no). Hoy en día en educación no nos dejan de traladrar que sembremos en pensamiento crítico, pero, con todo mi amor y sutileza, tengo que expresar, mi preocupación, pues como queremos que nuestros niños y jóvenes logren desarrollar su pensamiento crítico, cuando no tenemos una real selectividad para que quienes deben estar frente al aula, tengan todas las competencias para estarlo, en pocas palabras: me preocupa que muchos profesores ni siquiera entiendan el concepto de pensamiento crítico. Seamos realistas, el sistema educativo esta llenito de vicios y larvas, que no ayudan, las plazas magisteriales están ocupadas muchas veces, por gente que las alcanzan por padrinazgos, compadrazgos, y vaya usted a saber cuanta triquiñuela, cuantos profesores que realmente las merecen las siguen esperano, conformandose con sueldos pauperrimos y terribles condiciones laborales en escuelas privadas que los exprimen a su antojo. El problema real lo veo en quienes ostentan los puestos directivos, que no tienen idea de la gran responsabilidad de dirigir una secretaria de educa ción, o ya se nos olvido la vergüenza de Leticia Ramírez, la cual no pudo contestar en su momento al ser entrevistada como nueva secretaría de educación, sobre el nuevo modelo educativo. Eso me parece mucho más preocupante, y ojo con esto no quiero decir, que si los libros que nuestros niños y jóvenes tendrán en las manos este año escolar, no fueron evaluados como la ley no exige y que si en verdad estan adoctrinado sea realmente repugnable, en caso de que sea así realmente es prudente y exigible se tomen cartas en el asunto.

Pero mientras tanto, creo que necesitamos ir más al fondo de las cosas. Escucho a Xóchitl Gálvez hablar sobre que los niños necesitan aprender inglés, robótica y habilidades tecnólogicas, y me sorprende porque creo que es bastante descabellado hacer este tipo de propuestas que suenan muy rimbombantes pero muy fuera de tono, cuando tenemos una población estudiantil que no tiene una gran comprensión lec tora, que le cuesta escribir y producir ideas.

Martes 15 de Agosto de 2023 28. ESPECIAL | elheraldodetuxpan.com.mx | PRIMERA SECCIÓN Martes 08 de Agosto de 2023 08. el Heraldo de Coatzacoalcos
MARÍA MERCED GONZÁLEZ GONZÁLEZ

AL MANDO

PLANES PARA CRECER EN LA REGIÓN

Esta semana estará en México Jaime Arrieta, CEO Global de Buk, la empresa de tecnología especializada en la gestión de recursos humanos, la cual a seis años de su fundación ya se encuentra valuada en 400 millones de dólares. Como parte de su estrategia de expansión en Latinoamérica, Buk llegó a nuestro país en 2022 y al cierre de su primer año de operaciones logró cerrar con más de 100 clientes corporativos. México es la apuesta de esta empresa que recientemente levantó 35 millones de dólares en su más reciente ronda de inversión. La visita de Arrieta es relevante toda vez a partir de hoy en conjunto con Andrés Gómez cabeza local de la compañía, revisará la estrategia de negocio en México y se reunirá con clientes para consolidar la operación que busca crecer al cierre de este año a más de 400 empresas, aglutinando a más de 100 mil colaboradores a nivel nacional dentro de su robusta plataforma que ya implementa Inteligencia Artificial como Chat GPT en la gestión del capital humano. Entre los clientes con los que cuenta la tecnológica anote a Santander, Yamaha, Patagonia y Cornershop, Grupo Besco, Nowports, entre otras en nuestro país.

LA POLÉMICA POR LOS LIBROS

En medio del debate generado por los Libros de Texto Gratuito (LTG) que elabora la Secretaría de Educación Pública (SEP) al mando de Leticia Ramírez, llama la atención la postura que asumió la Confederación Patronal de la República Mexicana (COPARMEX), que preside José

Medina Mora, al pedir la reposición del proceso de elaboración, solicitando a la autoridad responsable la incorporación de especialistas, padres de familia, docentes y expertos en pedagogía. La principal queja de los empresarios se da en sentido de la poca transparencia con la cual fueron elaborados los contenidos de los ejemplares. Por su parte el gobierno federal defiende el procedimiento en su elaboración asumiendo la organización de varias asambleas, sin embargo, no se tiene claro quienes participaron y cómo llegaron a crear los materiales. En las últimas horas se conoció que la SEP había reservado la información de dichas asambleas bajo el argumento de posible afectación de datos personales y procedimientos en curso. Ahora la respuesta es una nueva conferencia de prensa desde Palacio Nacional en donde se conocerá y explicará el contenido de los libros.

DENUNCIA

El presidente de la Asociación Mexicana de Profesionales Inmobiliario (AMPI), Ignacio Lacunza Magaña, denunció las prácticas monopólicas de Grupo Navent, controladora de Inmuebles 24, propiedad de la brasileña Quinto Andar, que pueden afectar el costo de los servicios de los agentes inmobiliarios y perjudica los tiempos de comercialización de propiedades. Dijo que estas plataformas aplican cuotas a su arbitrio a otras marcas inmobiliarias que usan sus servicios digitales o están vinculadas para exhibir sus anuncios de renta, compra y venta de inmuebles en México.

TELECOM EN PERSPECTIVA

TELECOMUNICACIONES MÓVILES AL 2T22

La economía mexicana creció a una tasa anual de 3.7% (INEGI), nivel superior a las expectativas de organismos internacionales y autoridades gubernamentales. Esto nos coloca en una proyección de crecimiento mayor cercana a 3% para todo el año en su totalidad.

Por su parte, las telecomunicaciones móviles registraron un crecimiento de 4.1% en término de ingresos, esto a partir de la renovada relevancia de la conectividad permanente, así como las mejores condiciones de disponibilidad, asequibilidad y calidad de los servicios.

Efectivamente, el característico dinamismo procíclico del mercado de telecomunicaciones móviles, medido por los ingresos generados por los operadores, registró un crecimiento de 6.3% en su componente de servicios al 2T-2023.

En contraste, el componente correspondiente a la venta de equipos descendió 1% en términos anuales, explicado por el crecimiento en la huella de mercado de los Operadores Móviles Virtuales (OMV) que en su mayoría no comercializan smartphones, así como por la creciente migración de su adquisición en plataformas de comercio electrónico, tiendas departamentales y/o de autoservicio. En términos de líneas, al finalizar el 2T-2023, se contabilizó un total de 139.3 millones de líneas, 4.7% más que el mismo trimestre del año anterior y representando una penetración de 110.2% a nivel nacional. Respecto a la modalidad de líneas, la proporción se ha mantenido prácticamente igual respecto al trimestre anterior, 82.5% corresponden al subsegmento de prepago y 17.5% al de pospago.

Respecto a la distribución de mercado, el agente económico preponderante (AEP-T, Telcel) ostenta la mayor proporción de líneas con 59.7% del total (83.2 millones), seguido de Telefónica Movistar con 16.9% del mercado (23.6 millones de líneas estimadas) y AT&T con una cuota de 15.6% (21.6 millones). Destaca también, la creciente preferencia por los OMV los ha llevado a sumar en su conjunto una razón de 7.8% del total, con 10.8 millones de líneas.

Por su parte, el gasto promedio mensual por usuario en servicios (ARPU por sus siglas en inglés) ascendió a $138.7 pesos y aumentó 1.2% en su comparativo anual. Este crecimiento se explica por un creciente consumo de datos móviles (6.1 GB en promedio al mes), impulsado por el crecimiento en la base de equipos de gama media y alta, la mejora tecnológica (migración 4G-5G) y el abaratamiento relativo de los servicios, que se tradujo en un incremento de 14.5% anual en el consumo GB por usuario.

En suma, el mercado móvil continúa con un crecimiento mayor que aquel de la economía en su conjunto y su importancia es cada vez más manifiesta en la operación económica y social, acompañados de mejoradas condiciones de acceso para los consumidores.

Es previsible que la migración a redes 5G, así como el mayor consumo de servicios, impulsen el ARPU del mercado al alza, sin embargo, la merma en el poder adquisitivo contrarresta la incidencia positiva de estos factores.

La prospectiva para los próximos trimestres será que el número de usuarios mantenga su tendencia ascendente y que su consumo aumente, circunstancias que impulsarán los ingresos de servicios, contrarrestando así el desempeño de los ingresos por equipos.

Para asegurar la continuidad de este panorama en el futuro, es imprescindible fortalecer, aplicar y verificar el cumplimiento efectivo de las medidas enfocadas a gestar un ecosistema competitivo del mercado e incentivar el aprovechamiento del espectro radioeléctrico disponible.

Martes 15 de Agosto de 2023 .29 ESPECIAL | elheraldodetuxpan.com.mx | PRIMERA SECCIÓN Martes 08 de Agosto de 2023 .09
el Heraldo de Coatzacoalcos
GONZALO ROJON
JAIME NÚÑEZ
Martes 15 de Agosto de 2023 30. ESPECIAL | elheraldodetuxpan.com.mx | 14. PRIMERA SECCIÓN Miércoles 09 de Agosto de 2023 el
Heraldo de Coatzacoalcos

PANORAMA INTERNACIONAL ANÁHUAC

ENTRE APACIGUAMIENTO Y COMPETENCIA

En marzo del año en curso, se presentó un hito que marcó un parteaguas para la geopolítica de Medio Oriente. Pues, gracias a los buenos oficios chinos, Arabia Saudita e Irán restablecieron relaciones diplomáticas. Con ello, se presentan dos sucesos que cabe destacar.

El primero, es que una nueva potencia extranjera (China) comienza a tener un papel más activo en las dinámicas de seguridad de la región. El segundo, es que el acercamiento entre Teherán y Riad significa un apaciguamiento de la rivalidad entre estos dos países por la hegemonía regional.

Aunado a lo anterior, se está articulando un nuevo esfuerzo por parte de la diplomacia iraní para un mayor apaciguamiento en Medio Oriente, ya que en los últimos meses, Teherán y el Cairo han estado llevando negociaciones en Irak buscando poner fin a más de cuatro décadas de ruptura, sin resultados tangibles hasta la fecha.

Por otra parte, tras una década de distanciamiento en julio del año en curso, Turquía y Egipto han normalizado sus relaciones diplomáticas, lo que representa para Ankara un triunfo geopolítico. Puesto que una relación sólida con Egipto para Turquía se convierte en un triunfo en la dinámica de seguridad del Mar Mediterráneo oriental.

Asimismo, una mejor relación con el mundo arabo islámico, algo a lo que Teherán aspira, no obstante esto agudiza la rivalidad entre Irán y Turquía quienes no

sólo compiten por tener una mayor popularidad frente al mundo arabo islámico sino también, por posicionarse como la potencia regional que funja como el pilar de una nueva estructura de seguridad en Medio Oriente.

De lo anterior, existen varias interrogantes a considerar: primero ¿se está gestando una nueva Guerra Fría en Medio Oriente? En esta ocasión entre Turquía e Irán, toda vez que ambos compiten por un mayor pro

tagonismo frente al mundo arabo islámico, dicha competencia también se manifiesta en la guerra ruso-ucraniana a través de los drones que ambos países proveen a bandos contrarios.

Segundo, ¿pueden Irán y Egipto normalizar sus relaciones diplomáticas? Pues no hay que olvidar que en el pasado uno representaba un modelo de hegemonía regional laico (pan arabismo) mientras que el otro, se basa en una teocracia que tiene como principal narrativa alcanzar todo lo que el pan arabismo no logró.

Por último, ¿Cuáles serán las decisiones de Ankara en Asia central ? donde Irán también busca tener un papel preponderante. Claro está que se están orquestando varios esfuerzos simultáneos y paralelos para la distensión en Medio Oriente. No obstante, las rivalidades persisten y en estos últimos meses han luchado por conquistar los corazones del país árabe más poblado de la región.

DESDE AFUERA

TRUMP Y SUS JUICIOS

Seguir las incidencias de los problemas legales del expresidente Donald Trump ponen de relieve un estilo que no ha cambiado en décadas y que tiene su origen en el macarthismo y la cacería de brujas anticomunista de los años 50. Es el estilo perfeccionado por un abogado tan brillante como perverso, Roy Cohn, que fuera mentor del joven empresario Trump en los dorados setentas neoyorquinos. Cohn fue uno de los más duros, antiéticos y amorales personajes de la historia reciente estadounidense; descrito como un homosexual homofóbico, que formó parte de los comités legislativos “cazacomunistas” de Richard Nixon y de Joseph McCarthy, emigró a Nueva York, donde se distinguió como abogado litigioso y aconsejó a grupos mafiosos –que coincidentemente controlaban los sindicatos de la construcción–.

Y por años, fue uno de los principales consejeros del expresidente, que probó ser un alumno adepto. Según algunos autores, Cohn enseñó a Trump tres principios: 1. Nunca llegar a un acuerdo y nunca rendirse; 2. Contraatacar y contrademandar inmediatamente, y 3. Jamás admitir la derrota y cantar victoria, sin importar lo que pase o que tan mal se esté.

Y si un observador se fija, esos principios están presentes en la estrategia de defensa que Trump lleva adelante en los tres juicios que ahora tiene enfrente, y probablemente, en el que se le seguirá por haber tratado de presionar a funcionarios del estado de Georgia para “conseguirle” los votos necesarios para dar la vuelta a los resultados de la elección y acortar la ventaja que ya le llevaba el ahora presidente Joe Biden.

Trump, hasta ahora, no ha dejado de proclamar su triunfo en los comicios de 2020 y de asegurar que fue despojado; de creerle, habría sido una conspiración que abarcó a decenas de miles de trabajadores electorales, escrutadores de voto, observadores y elementos tanto en favor de sus adversarios demócratas como de sus partidarios republicanos.

De acuerdo con algunos analistas, su estrategia implica desvirtuar la credibilidad de sus adversarios, presionar a los testigos, desviar la atención y usar planes distractores, y crear una opinión pública que favorezca sus propuestas.

La huella de Cohn está presente en todo ese proceso.

Trump y Cohn tuvieron una larga relación de trabajo y a lo largo del camino el empresario y ahora político aprendió la noción de asegurarse de la privacidad, cuando no la secrecía en sus tratos, el de presionar a sus contrapartes con su riqueza y en negociar desde una posición de fuerza.

Es una estrategia que ha llevado con bastante éxito a lo largo de más de cuatro mil juicios por cuestiones financieras e inmobiliarias, y que ahora se traslada a los ámbitos de la política y la opinión pública.

Evidentemente, ha tenido éxito entre los republicanos, y algunos temen que llegue a más, hasta su reelección. Pero tal vez valdría la pena recordar que Cohn murió arruinado, desprestigiado y enfermo de Sida.

Martes 15 de Agosto de 2023 .31 ESPECIAL | elheraldodetuxpan.com.mx | PRIMERA SECCIÓN Miércoles 09 de Agosto de 2023 .09
Heraldo
el
de Coatzacoalcos
JOSÉ CARREÑO FIGUERAS
-
ÁNGEL RABIH RAYES

¡FUE UN AJUSTE DE CUENTAS!

Hallazgo de desmembrados en dos casas de seguridad, fue derivado de una disputa entre delincuentes, en Poza rica.

EJECUTAN A COORDINADOR

De varios impactos de arma de fuego fue asesinado joven cuando llegaba a su vivienda, en Yanga. PASE A LA 23

ARDE TERRENO

Incendio por causas desconocidas en pastizal fue controlado por personal del Ejército Mexicano. PASE A LA 21

¡LO MATAN!

Al interior de un local de reparación de celulares, varón fue ultimado de impactos de bala, en Xalapa. PASE A LA 22

Martes 15 de Agosto de 2023 www.elheraldodetuxpan.com.mx El Heraldo de Tuxpan @Heraldo_Tuxpan
PASE A LA 21

Turn static files into dynamic content formats.

Create a flipbook
Issuu converts static files into: digital portfolios, online yearbooks, online catalogs, digital photo albums and more. Sign up and create your flipbook.