PORTADA POR ESTO CANCUN, VIERNES 27 DE SEPTIEMBRE DE 2024

Page 1


Quintana Roo

Dignidad, Identidad y Soberanía

Cancún, Quintana Roo, México, viernes 27 de septiembre del 2024

Directora General: Alicia Menéndez Figueroa

Año 32 • No. 11523

Empresas de estacionamientos en los centros comerciales de Cancún cobran tarifas sin regulación y evaden su responsabilidad por robos y daños a vehículos; pese a las múltiples quejas de usuarios, el

Ayuntamiento de Benito Juárez no actúa / Quintana Roo enfrenta crisis en la captación de órganos / Celebran la constitucionalización de “Jóvenes Construyendo el Futuro”

SACRIFICARÍAS?

La lucha de los familiares y colectivos de desaparecidos para continuar su búsqueda

Ciudad 12 a 13

Ciudad 14, 15 y 11 / Municipios 32 y 33

Aguakan vierte aguas negras en Playa Norte de Isla Mujeres Municipios 29

Conductores de Uber acusan corrupción en operativos del Imoveqroo Ciudad 16

LA administración de Ana Patricia Peralta permite que ciertos negocios violen reiteradamente la regulación, afirman clientes; reclaman un alto a los pagos considerados un abuso.- (M. Hernández)

1,155

1.72

2

República

INE designa consejerías

El instituto electoral establece 55 organismos locales en 20 estados del país

CIUDAD DE MÉXICO.-

El Consejo General del Instituto Nacional Electoral (INE) designó ayer a 55 consejerías electorales en 20 estados para su próxima renovación; mientras que representantes de partidos políticos se inconformaron con algunos perfi les, argumentando que les falta experiencia, imparcialidad e incluso que hay organismos locales que serían integrados en su totalidad por mujeres.

Sin embargo, al no existir un consenso, se declararon desiertas las vacantes de las presidencias de los Organismos Públicos Locales Electorales (OPLE) de Campeche y Chiapas por falta de consenso, siendo esta última la tercera vez que se declara desierta.

Los estados donde se designaron consejerías electorales son Baja California Sur, Campeche, Ciudad de México, Colima, Estado de México, Guanajuato, Guerrero, Jalisco, Michoacán, Morelos, Nuevo León, Oaxaca, Querétaro, San Luis Potosí, Sonora, Tabasco, Tlaxcala, Veracruz, Yucatán y Zacatecas.

El diputado de Morena Sergio Gutiérrez Luna dijo que no están de acuerdo con las propuestas del OPLE de Jalisco, conformadas por Miriam Gutiérrez Mora, Carlos Aguirre Arias y Melissa Amezcua Yépiz, por supuestos vínculos con Movimiento Ciudadano.

“No vemos en ellos un perfil de neutralidad, de objetividad, que puedan hacer un papel de neutralidad para conducir un proceso electoral en una entidad donde hemos tenido un histórico de conflictos justamente atribuibles a la autoridad electoral”, sostuvo.

Suspensión judicial

Por otro lado, la consejera presidenta del INE, Guadalupe Taddei, informó que ese instituto no ha sido notificado de la suspen-

Se declararon desiertas algunas vacantes de los OPLE. (Agencias)

sión judicial que otorgó un Juez en Colima para detener el proceso electivo de autoridades judiciales. En breve entrevista, la Consejera evitó responder si apoyará la suspensión de dicho proceso, pues dijo que se debe analizar la resolución.

“No hemos sido notificados, y en caso de que sea notificada la suspensión, habrá análisis jurídico para que el Consejo General tome una decisión. Llegaría la notificación que nos llegue, primero, en qué términos viene y jurídica-

mente dar la postura. Mi postura es esperar a que llegue, cómo viene, analizarlo jurídicamente y ver cuál es lo procedente, no sólo soy yo, somos 11 consejeros que tenemos que asumir una postura”, indicó.

“Tenemos que revisar los términos de esa suspensión, si efectivamente está vinculando al Consejo General del INE, para que efectivamente nosotros ya no hagamos ninguna acción, por supuesto que todas las determinaciones de las autoridades judiciales se tienen que acatar”, expresó. Cuestionada sobre el llamado del diputado Ricardo Monreal para que el INE no acate esta resolución, Dania Ravel dijo que es una decisión que corresponde únicamente al instituto.

“Nosotros tenemos autonomía, hemos respetado siempre la autonomía del propio instituto, la hemos hecho respetar; vamos a hacer el análisis conducente a través de nuestra área jurídica”, advirtió. (Agencias)

Aseguran 17 fusiles de asalto en Sonora

HERMOSILLO, Son.- Luego de un enfrentamiento armado, integrantes de la Guardia Nacional, en coordinación con el Ejército Mexicano, aseguraron un arsenal compuesto por 17 fusiles de asalto, cargadores y cartuchos útiles de diferentes calibres, dentro de dos vehículos con reporte de robo.

Los hechos se registraron durante patrullajes de seguridad y prevención del delito en el municipio de Sáric, donde el personal de ambas instituciones avistó a un grupo de personas armadas junto a tres vehículos estacionados.

Al notar la presencia de las unidades oficiales, los hombres accionaron sus armas en contra del personal de la Guardia Nacional y del Ejército Mexicano,

POR ESTO!

Dignidad, Identidad y Soberanía

Alicia Menéndez Figueroa

Directora General

Mario Renato Menéndez Rodríguez Fundador y Director Honorario

Por Esto! Yucatán, Por Esto! Campeche, Por Esto! Ciudad del Carmen y Por Esto! Quintana Roo

TELÉFONOS:

Conmutador: 998 886 8121

998 886 7823

998 886 8795

e-mail: publicidad@poresto.mx

El Ejército repelió el ataque.

y abordaron rápidamente uno de los vehículos para darse a la fuga. Los elementos adoptaron los protocolos de seguridad correspondientes y repelieron el ataque

de los sospechosos, sin que resultaran personas lesionadas. En el lugar desplegaron un operativo de seguridad perimetral y en el sitio fueron localizados un vehículo todoterreno y una camioneta, las cuales resultaron con reporte de robo vigente.

Al llevar a cabo una inspección en el interior de las unidades localizaron 17 fusiles de asalto, 113 cargadores y 4 mil 671 cartuchos útiles de diversos calibres.

Los dos vehículos y el material bélico fueron asegurados y puestos a disposición ante la agencia del Ministerio Público Federal en la entidad sonorense, para continuar las investigaciones correspondientes sobre este hecho. (Agencias)

Título de la Publicación: Por Esto! Dignidad, Identidad y Soberanía

Fecha de impresión: 27 de septiembre de 2024

Editor Responsable: Mario Renato Menéndez Rodríguez

Hallan cuerpo flotando en arroyo de NL

MONTERREY, NL.- El cuerpo de un hombre fue encontrado flotando al interior del arroyo El Obispo, en el municipio de San Pedro, en Nuevo León. Fueron vecinos de la colonia San Pedro 400 quienes reportaron el cadáver a las autoridades, por lo que rescatistas de Protección Civil del Estado acudieron a la zona y confirmaron el hallazgo del cuerpo que había sido arrastrado varios metros por la corriente. Al lugar también arribaron agentes del servicio de emergencias 911 de San Pedro. La víctima fue identificada como Ramiro Rafael Leija Aragón, de 72 años, quien aparentemente vivía en la colonia Trabajadores de Santa Catarina. El cuerpo del septuagenario fue encontrado con una playera roja y un pantalón obscuro. En una primera línea de investigación se señala que el cuerpo pudo haber sido arrastrado por la corriente desde el municipio de Santa Catarina. Peritos de la Agencia Estatal de Investigaciones trasladaron el cadáver al anfiteatro del Hospital Universitario para la autopsia. (Agencias)

Domicilio del editor: Calle 60 No. 574-A x 73 y 71 Col Centro CP. 97000, Mérida, Yucatán

Periodicidad: Medio impreso de publicación diaria

Número de Certificado de Reserva otorgado por el Instituto Nacional del Derecho de Autor: 04-2017-121813062000-101

Número de Certificado de Licitud de Título: 17100

Número de Certificado de Licitud de Contenido: 17100

Imprenta: Compañía Editora del Mayab S.A. de C.V. Calle 60 No. 574-A x 73 y 71 Col Centro CP. 97000, Mérida, Yucatán

Distribuidor: Compañía Editora del Mayab S.A. de C.V. Calle 60 No. 574-A x 73 y 71 Col Centro CP. 97000, Mérida, Yucatán

(Certificada Corredor Público Num. 1 del Estado de Yucatán. Abogado Efraín Jesús Díaz y Díaz, Enero/Julio. 09)

Derecho de réplica: En la calle 60 No. 574-A x 73 en horario de 9:00 a 17:00 hrs.

Edición digital: www.poresto.net

Precio ejemplar $10.00 todos los días

El cadáver correspondía a un hombre de 72 años. (Agencias)

Padres de los 43 sostienen lucha

Normalistas marchan en el marco del 10° aniversario de la desaparición de los jóvenes de Ayotzinapa

CIUDAD DE MÉXICO.- Los padres de los 43 estudiantes desaparecidos de la Escuela Normal Rural de Ayotzinapa, el 26 de septiembre de 2014, aseguraron ayer que, gobierne quien gobierne, continuarán con su exigencia de que presenten con vida a cada uno de los normalistas, en un mitin realizado en la plancha del Zócalo capitalino, luego de la marcha conmemorativa por los 10 años de la Noche de Iguala, efectuada a través del Paseo de la Reforma, de la Ciudad de México.

“Gobierne quien gobierne, esté quien esté, aún con desprestigios, descalificaciones y aún cuando nos pongan barreras continuaremos exigiendo la presentación con vida de los 43”, aseveraron padres y madres de los jóvenes desaparecidos.

Al cumplirse una década de los hechos y a unos días de que termine el actual Gobierno, reiteraron que su lucha es inclaudicable.

Frente a miles de personas que los acompañaron en toda la marcha desde el Ángel de la Independencia, Hilda Legideño, madre de Jorge Antonio Tizapa, dijo que los padres y madres de los normalistas “seguiremos adelante, nos asiste la razón, hay pruebas, hay informes que demuestran la participación de los militares. Exigimos que se entreguen los folios (militares) faltantes donde está toda la información de lo que ocurrió esa noche”. Igualmente, pidió a nombre de las familias que regrese el Grupo Interdisciplinario de Expertos Independientes (GIEI), “porque sólo ellos nos conducirán hacia el cami-

no a saber de nuestros hijos”.

Los padres y madres también se dirigieron a la presidenta electa, Claudia Sheinbaum Pardo: “seguiremos adelante exigiendo verdad al mismo nivel. No vamos a dar un paso atrás”, aseguró Emiliano Na- varrete, padre de José Ángel.

También al Gobierno federal entrante “le decimos que si piensa hacer esto (de bloquear las marchas) nosotros vamos a seguir luchando”, añadió Mario González.

Mientras se realizaba el mitin, un grupo de encapuchados lanzó petardos al otro lado de las vallas metálicas que resguardaban Palacio Nacional. Sin embargo, padres y madres de los normalistas pidieron que los dejaran continuar con su mensaje.

La manifestación concluyó alrededor de las 20:00 horas. En un Zócalo donde retumbó en voz de los normalistas: “¡Porque vivos se los llevaron, vivos los queremos! ¡El 26 de septiembre no se olvida!”.

Bloque negro causa destrozos en la marcha

A la marcha acudieron alrededor de 10 mil personas, según cifras del Gobierno de la Ciudad de México, en su mayoría estudiantes de diferentes Escuelas Normales Rurales del país, quienes marcharon detrás del contingente principal integrado por los 43 padres de los normalistas desaparecidos, gritando consignas en contra de la desaparición forzada de los estudiantes, presuntamente, por grupos criminales.

Cabe destacar que en la retaguar-

dia de la manifestación se agrupó un contingente de sujetos vestidos de negro y encapuchados, mismos que eran vigilados a distancia por personal policiaco de la Secretaría de Seguridad Ciudadana (SSC) de la Ciudad de México, a fin de evitar que realizaran destrozos, aunque al final hicieron lo que quisieron.

Sólo algunos minutos bastaron para que el denominado bloque negro comenzara a realizar destrozos y pintas en comercios y bancos que se encontraban a su paso. De poco ayudaron los tapiales instalados en las fachadas de los negocios, pues con relativa facilidad fueron retirados por los manifestantes.

Cafeterías, hoteles y tiendas de electrodomésticos fueron algunos de los negocios vandalizados por grupos de encapuchados, inclusive, algunos ubicados en calles aledañas de Paseo de la Reforma. De acuerdo con el testimonio de empleados, los embozados incluso saquearon algunos productos de los exhibidores.

Además de los saqueos, este bloque radical detonó un gran número de petardos e inclusive bombas molotov, además de portar mazos y martillos con los que reventó todo lo que encontró a su paso, tanto propiedad privada como mobiliario urbano.

A su llegada al Antimonumento de los 43, en el cruce de Paseo de la Reforma y Bucareli, los manifestantes esperaron unos minutos en el lugar, en donde se realizó el pase de lista de los estudiantes desaparecidos, así como un primer pronunciamiento en el que exigieron nuevamente el esclarecimiento de los hechos.

AMLO se solidariza

Durante su conferencia de prensa matutina de ayer en Palacio Nacional, el presidente Andrés Manuel López Obrador reafirmó que no hay impunidad en el caso de la desaparición forzada de los 43 estudiantes de Ayotzinapa

A 10 años de los lamentables hechos, el Mandatario federal externó su solidaridad con las madres y padres de los jóvenes. López Obradro reafirmó que el Gobierno federal mantiene los esfuerzos de la búsqueda en campo y aseguró que la

próxima presidenta, Claudia Sheinbaum Pardo, continuará el objetivo. “Que les quede muy claro, se los digo de manera sincera, con todos mis sentimientos: no hay impunidad para nadie. Hicimos todo por encontrar a los jóvenes y a nadie se le protegió, queríamos saber todo, se complicaron las cosas, están enredadas, complicadas por intereses, pero la verdad siempre se abre paso y la justicia tarda, pero llega. Entonces, hay que seguir adelante”, subrayó el Mandatario federal en su conferencia mañanera. (Redacción POR ESTO!)

López Obrador recalcó que no habrá impunidad en el caso Iguala

Llama Sheinbaum a la inversión

La Presidenta electa de México se reúne con directivos de la fi rma Constellation Brands

CIUDAD DE MÉXICO.- La presidenta electa de México, Claudia Sheinbaum Pardo, quien asumirá el poder el próximo martes 1 de octubre en la Cámara de Diputados, se reunió ayer con directivos de la empresa Constellation Brands, quienes le expresaron su interés de seguir apostado por México con una inversión de mil 600 millones de dólares en Veracruz.

“Me reuní con los directivos de la empresa Constellation Brands: Bill Newlands, presidente CEO; Jim Bordeau, vicepresidente ejecutivo de asuntos públicos y legal; Matt Stanton, vicepresidente global de asuntos públicos; y Bernardo H. Martínez Aguirre, vicepresidente de asuntos públicos y representante en México de la firma”, manifestó Sheinbaum en su cuenta de la red social X

La futura mandataria federal, quien estuvo acompañada de Lázaro Cárdenas Batel, próximo jefe de Oficina de la Presidencia, y Marcelo Ebrard, próximo titular de la Secretaría de Economía, afirmó que la compañía está “invirtiendo mil 600 millones de dólares en el estado de Veracruz”.

“Hay mucho interés de seguir invirtiendo en México”, aseveró Sheinbaun Pardo en el mensaje que acompañó con una foto con todos los presentes en la reunión.

En el 2023, la empresa anunció

que invertiría 5 mil 400 millones de dólares en los próximos cuatro años, que se sumarían a los 9 mil millones de dólares invertidos desde su llegada a nuestro país.

De la misma forma, en julio pasado, la firma informó que tenía

previsto un gasto de 3 mil millones de dólares en los próximos años para desarrollar módulos adicionales a sus instalaciones en el país y en su planta del estado de Veracruz, la cual prevé que esté completamente lista en el 2025.

misión del Poder Ejecutivo federal del próximo martes 1 de octubre.

Aunque es el mismo texto que publicó el pasado miércoles, la morenista hizo dos precisiones, una de ellas la corrección de la fundación de Tenochtitlán, que fue hace más de siete siglos, y no dos, como había mencionado antes.

El pasado miércoles, Sheinbaum fue tendencia en redes sociales al señalar que la fundación de Tenochtitlán fue hace 200 años. La otra modificación que hizo la morenista fue retirar el párrafo que indicaba que “la propuesta enviada el 5 de febrero por el presidente López Obrador para reconocer los derechos plenos de los pueblos y comunidades indígenas y afromexicanas en la Constitución Política de los Estados Unidos Mexicanos, fue aprobada por unanimidad en la Cámara de Diputados y Senadores”.

por el país. (Agencias)

Corrige error histórico

La Presidenta electa compartió en redes sociales nuevamente su posicionamiento sobre la decisión de no invitar al Rey de España, Felipe VI, a su ceremonia de trans-

En el documento, Claudia Sheinbaum mencionó que confía que, la decisión de España de no enviar a ningún representante a su toma de protesta, “hoy pone de manifiesto nuestra diversidad de opiniones, sea también punto de partida para que México y España encuentren pronto nuevas vías de entendimiento basadas en nuestras soberanías y respeto mutuo, en beneficio de nuestras naciones y nuestros pueblos”.

(Agencias)

Alistan

CIUDAD DE MÉXICO.- La secretaria general de la Cámara de Diputados, Graciela Báez Ricárdez, informó que serán 930 invitados especiales los que el próximo martes 1 de octubre asistirán a la toma de protesta de Claudia Sheinbaum como la primera presidenta de la República.

Báez, acompañada de personal de la Cámara Baja, realizó otro recorrido por las instalaciones del recinto legislativo de San Lázaro, junto con integrantes del equipo de Sheinbaum, y otros grupos involucrados en la organización de la ceremonia protocolaria, a fin de que todo salga sin contratiempos.

“Son los detalles para que este evento quede impecable como lo merece la Presidenta electa, y también como lo requiere la imagen de

México que le va a dar la vuelta al mundo, porque es la primera mujer que tomará protesta como Presidenta de México”, expresó. Comentó que, además de los 930 invitados de Claudia Sheinbaum que acudirán, estarán en el salón de plenos, los legisladores que integran el Congreso de la Unión, que son 500 diputados federales y 128 senadores de todos los partidos políticos. Sobre el dispositivo de seguridad, la aún Secretaria General comentó que las instalaciones estarán resguardadas por 250 elementos de seguridad al interior, así como 14 efectivos de la Guardia Nacional. Además de que en el exterior del recinto habrá apoyo de miembros de la Secretaría de la Defensa Nacional. (Agencias)

La próxima titular del Poder Ejecutivo celebró el interés de las empresas
El evento protocolario será en la Cámara de Diputados. (Agencias)

Respaldan 17 Congresos a la GN

Legislaturas locales con mayoría de Morena y aliados aprobaron reforma sobre la Guardia Nacional

Da SLP luz verde al aborto

SAN LUIS POTOSÍ, SLP.- Los colectivos ILE y Praxis Combativa anunciaron ayer que el pasado 23 de septiembre el Juzgado Tercero de Distrito del noveno circuito emitió una sentencia de amparo que despenaliza la interrupción voluntaria del embarazo dentro de las primeras 12 semanas de gestación.

“Este fallo no sólo protege el derecho a la autonomía reproductiva, sino que también reafirma que la igualdad de género y el libre desarrollo de la personalidad son derechos humanos esenciales”, destacó Praxis Combativa en un comunicado.

baciones necesarias en el mismo número de congresos estatales para ser declarada constitucional.

Con el aval de estas 17 legislaciones locales, todos con mayorías de Morena y aliados, la reforma puede dar su siguiente paso antes de llegar al Diario Oficial de la Federación (DOF).

Las entidades que ya la votaron a favor son Baja California, Chihuahua, Campeche, Ciudad de Mé-

bó este miércoles la reforma constitucional que traspasa el mando operativo de la Guardia Nacional a la Secretaría de Defensa. El proyecto, impulsado por el presidente saliente Andrés Manuel López Obrador, solo necesitaba ser autorizado en la mayoría de los congresos locales, de la que dispone el oficialismo, para luego ser promulgado. La semana pasada fue aprobado por la Cámara de Diputados.

garantizar la seguridad pública. En ese sentido, la reforma reconoce a la Guardia Nacional como una fuerza de seguridad pública profesional de carácter permanente, dependiente de la Secretaría de la Defensa Nacional (Sedena).

También faculta al Congreso de la Unión a expedir leyes que regulen y establezcan requisitos y límites para la participación del Ejército, Armada y Fuerza Aérea en materia

de seguridad interior y en tareas de

nisterio Público y las instituciones policiales de los tres órdenes de Gobierno, incluida la Guardia Nacional, deben coordinarse entre sí para cumplir los fines de la seguridad pública y conformarán el Sistema Nacional de Seguridad Pública. Asimismo, precisa que la persona titular de la Comandancia de la Guardia Nacional, será designada por la persona titular de la Presidencia de la República a propuesta del titular de la Sedena. (Redacción POR ESTO!)

Validan a dos aspirantes para dirigir el PAN

CIUDAD DE MÉXICO.- La

Comisión Organizadora de la Elección del Comité Ejecutivo Nacional del Partido Acción Nacional (PAN) validó ayer el registro de los dos aspirantes, Jorge Romero y Adriana Dávila, mismos que entregaron su documentación y más de 30 mil firmas, para ser candidatos, junto con sus planillas, a la presidencia y cargos que constituyen la dirigencia nacional del blanquiazul.

Se informó que de cara a la elección del próximo 10 de noviembre, para relevar a Marko Cortés, se prevé la realización de un debate entre los aspirantes en el mes de octubre, sin que aún se defina la fecha.

Dicha comisión que encabeza Ana Teresa Aranda, ha prometido piso parejo para los únicos dos contendientes que se inscribieron, pero también exhortó a ambos, a los dirigentes nacionales y estatales a erradicar a los llamados padroneros, que son operadores políticos encargados de manipular el padrón

de los cerca de 300 mil militantes.

La candidata Adriana Dávila, le acompañan en la planilla Juan Marcos Gutiérrez González como secretario general, y Nora Jessica Lagunes Jáuregui, Alberto Cárdenas Jiménez, Lydia Madero García, Fernando Pérez Noriega, Sandra Eugenia Corral Quiroga, Víctor Manuel Garay Domínguez y Lucía Susana Mendoza Morales como integrantes. Jorge Romero va en la planilla con Karen Michel González Márquez como secretaria General, y Santiago Taboada Cortina, Romina Contreras Carrasco, Josué David Guerrero Trapala, Amparo Lilia Olivares Castañeda, Eduardo Rivera Pérez, Sarahí Macías Alicea y Renán Alberto Barrera Concha como integrantes.

La Comisión informó que parte de la revisión fue un estudio exhaustivo de las firmas, mismas que se cotejaron una a una, para garantizar la legalidad de dichos apoyos. (Agencias)

El colectivo detalló los efectos generales de la sentencia, la cual garantiza a las personas con capacidad de gestar a decidir sobre la interrupción del embarazo, y tener a acceso a servicios médicos.

“Refuerza la obligación de las autoridades de aplicar justicia con enfoque de género, protegiendo a las mujeres de estereotipos y discriminación”, señaló.

También la sentencia de amparo busca garantizar el acceso a los servicios de salud reproductivos, priorizando el bienestar de las mujeres y sin riesgos de criminalización. De acuerdo con el colectivo, este precedente fortalecerá la lucha de muchas mujeres a lo largo del país, para que se reconozcan y respeten sus derechos.

“Se pone fin a la persecución penal y el estigma social”, puntualizó el colectivo. (Agencias)

Juzgado emitió un amparo favorable a dos colectivos.
Jorge Romero y Adriana Dávila son los únicos candidatos.

Suben a 11 los decesos por John

Acapulco, Guerrero, se paraliza por las inundaciones; Oaxaca registra mil 565 afectados en albergues

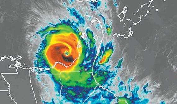
CIUDAD DE MÉXICO.- Autoridades de Guerrero y Oaxaca elevaron a 11 los muertos por el paso del Huracán John, que ayer avanzó en categoría 1 por el Pacífico.

El desorganizado desplazamiento de John, que tocó tierra la noche del lunes como huracán de categoría 3 en Guerrero, resurgió el miércoles y ayer circuló como categoría 1 en las costas de Michoacán.

En Guerrero, las autoridades apuntaron ocho muertos, pues ayer fallecieron dos personas más, un menor de edad y un hombre, y hasta este miércoles el conteo era de seis víctimas, dos en los municipios de Tlacochistlahuaca, dos en Malinaltepec, una menor de edad en Acapulco y uno en Tecoanapa. Asimismo, tres personas más perdieron la vida en Oaxaca a causa del meteoro, según autoridades de ese estado.

La séptima víctima en Guerrero fue un menor de edad, quien quedó sepultado por el desgajamiento de un cerro, cerca de la caseta de La Venta, en la autopista del Sol que conecta Ciudad de México con Acapulco.

Según autoridades, vecinos indicaron que el menor se encontraba en su casa con otro niño y su mamá, cuando debido a las fuertes lluvias y al reblandecimiento de la tierra, el cerro se desgajó y los sepultó.

Los vecinos lograron sacar con vida a la madre y a un menor de edad, mientras que el segundo niño fue sacado sin signos vitales, por lo que envolvieron en una sábana y lo trasladaron a otra vivienda para velarlo.

La octava víctima fue un hombre que resultó arrastrado por la corriente de un río en la colonia Alta Lomas de la Esperanza, por lo que los vecinos rescataron el cuerpo.

Mencionaron que vieron cómo la fuerte corriente arrastraba el cuerpo por lo que decidieron ayudarlo y sacarlo del agua, pero posteriormente se percataron que no tenía signos vitales y dieron aviso a las autoridades.

Indicaron que desconocían la identidad del hombre, así como de qué lugar de Acapulco era y desde dónde había sido arrastrado, por lo que sólo buscaron rescatar el cuerpo.

De la misma forma, el gobernador de Oaxaca, Salomón Jara Cruz, confirmó que van tres personas fallecidas en la entidad a causa del paso del huracán. Entre las víctimas se encuentran un menor de cinco años y dos adultos más.

El Mandatario oaxaqueño explicó que el niño se hallaba desaparecido y fue la Fiscalía General del Estado la encargada de reconocer el cuerpo, así como confirmar el deceso.

Las otras dos víctimas fueron identificadas. Se trata de Teresa L. de 65 años de edad, que salió de su casa y fue arrastrada por un caudal en la comunidad de Piedra de Amolar, en Santiago Amoltepec. Esta mujer todavía logró ser rescatada con vida, pero falleció durante su traslado hacia el hospital.

En tanto, la otra víctima es Herlindo García, de 25 años de edad, quien habría tratado de cruzar un río que se había salido de su cauce en San José Peñasco y fue jalado por la corriente que lo arrastró río abajo, donde las brigadas de Protección Civil lograron rescatar su cuerpo.

Situación crítica

Por un lado, en Guerrero, autoridades municipales han indicado que la situación que se vive en el puerto

días de lluvia y no hay condiciones para transitar en Acapulco, debido a que el huracán ha provocado severas inundaciones en decenas de barrios con afectaciones a miles de familias.

Para prevenir accidentes, la CFE suspendió la energía eléctrica. Además, se han presentado decenas de deslaves y colapso de tierra y puentes.

En Oaxaca, en cuanto a los daños que ha dejado el huracán John, el secretario General de Gobierno, Jesús Romero López, informó que hay mil 565 afectados alojados en ocho albergues ubicados en la zona costera y sierra Sur, donde hay 150

familia que reciben ayuda alimentaria del DIF Estatal debido a que sus viviendas se vieron perjudicadas.

Detalló que las Fuerzas de Seguridad estatal junto con elementos del Ejército y la Guardia Nacional han rescatado a 185 afectados por deslizamiento de laderas, desgajamiento de cerros y desbordamiento de ríos.

En el recuento de los daños informó que hay 34 caminos cerrados y cinco localidades sin energía eléctrica, además de cuatro carreteras federales con afectaciones.

Ayer, se tenía previsto que John tocara tierra otra vez como huracán categoría 1 en Michoacán, después

de haber azotado a Guerrero el lunes como huracán de categoría 3. Debido a la presencia del huracán John, el Servicio de Administración Tributaria (SAT), informó ayer que cerró sus oficinas en Acapulco, Guerrero, hasta nuevo aviso. Por ello, no habrá atención presencial en la oficina Guerrero 1 Acapulco, tras la alerta decretada por las autoridades. También se cerró el Módulo de Servicios Tributarios en Lázaro Cárdenas, en Michoacán. Asimismo, el SAT informó que las citas que ya tenían pactadas los contribuyentes serán reprogramadas. (Redacción POR ESTO!)

Cuatro sismos en dos horas encienden alarma en la CDMX

CIUDAD DE MÉXICO.- Cuatro sismos, tres de ellos con epicentro en la Ciudad de México y uno más en Guerrero, se sintieron ayer en la capital del país.

De acuerdo con el Servicio Sismológico Nacional, la magnitud del primer movimiento fue de 2.4, el segundo fue de 2.2, ambos con epicentro en la Alcaldía Benito Juárez

Más tarde, se originó otro sismo de magnitud 1.5 con epicentro Álvaro Obregón

Más tarde, un temblor de magnitud 5.2 se originó en Ciudad Altamirano, Guerrero, lo que activó la alerta sísmica en las alcaldías Álvaro Obregón y Benito Juárez, así como en el Valle de Toluca.

En entrevista, el coordinador estatal de Protección Civil, Adrián Romero, informó que se reportó saldo blanco de manera preliminar.

Por su parte, el jefe de la Policía capitalina, Pablo Vázquez Camacho, resaltó que se activó el protocolo de seguridad con sobrevuelos.

El Metrobús informó que tras la detección del sismo se llevaron a cabo los protocolos de revisión en el sistema de transporte capitalino. Las autoridades indicaron que sólo durante el día de ayer, se registraron ocho microsismos en la capital mexicana, cinco en la alcalJuárez y uno en Álvaro Obregón El Instituto Mexicano del Seguro Social (IMSS) informó que, luego del microsismo registrado a las 10:26 horas con epicentro al oeste de la Alcaldía Benito Juárez, todas las unidades médicas del área metropolitana operan con normalidad.

Se suman 13 muertos en Sinaloa

La guerra interna entre Los Chapitos y La Mayiza ha cobrado víctimas en distintos puntos del estado

CULIACÁN, Sin.- Alrededor de 13 víctimas dejó el día 18 de los enfrentamientos armados derivados de la guerra interna entre las facciones de Los Chapitos y La Mayiza, del Cártel de Sinaloa, en distintos puntos de este estado. Como parte de este conflicto se derivaron ejecuciones, hallazgos de cuerpos, ponchallantas en las calles y policías desarmados por la Secretaría de la Defensa Nacional (Sedena).

La madrugada de ayer se reportó un violento enfrentamiento en el poblado Loberas, en la sierra de Concordia, que dejó un saldo de siete personas muertas y dos heridas. Los lesionados fueron trasladados de inmediato a Mazatlán para recibir atención médica.

Elementos de seguridad que arribaron al lugar lograron asegurar dos vehículos y dos armas de fuego, presuntamente utilizadas en el enfrentamiento, las cuales fueron puestas a disposición de

las autoridades competentes para continuar con las investigaciones.

Este no fue el único hecho de violencia que sacudió al estado, pues en el fraccionamiento Infonavit Barrancos , al Sur de Culiacán, fueron encontrados tres cuerpos semienterrados en una fosa clandestina.

Un hombre, quien había sido dado por muerto, logró escapar y pedir ayuda a militares que patrullaban la zona. Con heridas de bala y cortadas en su cuerpo, fue trasladado a un hospital bajo resguardo policial. Las autoridades revelaron que el sobreviviente había estado secuestrado desde el pasado 6 de septiembre.

En Culiacán, también se registró un ataque armado en el sector de El Trébol , en la sindicatura de Costa Rica , donde una persona murió y otra resultó herida. La víctima, aún sin identifi car, fue encontrada sin vida bajo un puente, mientras que el herido,

En el hecho fueron rescatados dos civiles secuestrados. (Agencias)

Fallece delincuente en enfrentamiento en SLP

SAN LUIS POTOSÍ, SLP.-

Un grupo de hombres armados se enfrentó contra agentes de la Guardia Civil del estado de San Luis Potosí la noche del pasado miércoles en la localidad Ramal a Ojo de Agua, ubicada en el municipio de Matehuala de este estado. Por este hecho hubo tres personas heridas, un muerto y dos civiles que fueron rescatados, ya que estaban privados de su libertad. De acuerdo con la Secretaría de Seguridad y Protección Ciudadana estatal, la agresión fue repelida por los ofi ciales, por lo que al menos tres agentes resultaron lesionados, así como un presunto agresor, quienes fueron trasladados a un hospital para recibir atención médica. Posteriormente, informaron que el supuesto delincuente falleció.

Durante el operativo de seguridad, los sujetos armados intentaron huir en una camioneta tipo Tahoe color negro, desde donde dispararon contra las autoridades, pero abandonaron el vehículo en el camino, luego de que se

identificado como Jorge Luis “N”, sobrevivió al ataque y fue llevado al nosocomio.

Por si fuera poco, ayer en la colonia Tierra Blanca, cerca del Hospital Civil de Culiacán, los conductores se llevaron un susto al encontrar ponchallantas esparcidos por la avenida Álvaro Obregón.

Asimismo, la tarde del pasado miércoles, efectivos de la Sedena intervinieron las instalaciones de la Policía Municipal de Culiacán y desarmaron a más de mil elementos.

Por otro lado, fueron hallados otros dos cuerpos de hombres en la maxispista Mazatlán-Durango, quienes tenían impactos de bala. Dicha vía permanece cerrada.

La Secretaría de Seguridad Pública del Estado dio a conocer que las casetas de peaje de dicha arteria de comunicación terrestre, que son las de Coscomate y Mesillas, se mantuvieron cerradas a la circulación de vehículos.

(Agencias)

Realizan primera audiencia contra El Piyi, vinculado a Los Chapitos

CUALIACÁN, Sin.- Poco después de las 16:30 horas de ayer se llevó a cabo la primera audiencia en contra de Mario Alexander “N”, El Piyi, identificado como supuesto líder de seguridad del narcotraficante Iván Archivaldo Guzmán.

El sospechoso fue detenido el jueves 19 de septiembre en Culiacán, Sinaloa, junto con otros hombres armados.

Autoridades refirieron que el imputado era investigado por una serie de ejecuciones documentadas en la entidad durante las últimas semanas. Cabe mencionar que dicho sujeto estaría relacionado con una pugna entre dos de las facciones criminales del Cártel de Sinaloa, una de ellas de Los Chapitos y otra la de Ismael El Mayo Zambada.

El Piyi es miembro clave de Los Chapitos , brazo delictivo liderado por los hijos de Joaquín El Chapo Guzmán. De acuerdo con fuentes federales, había mantenido un perfil bajo y ello complicó su plena identificación. Su rostro había sido pocas veces visto, pues siempre usaba un pasamontañas para ocultarlo. (Agencias)

averiaron las llantas. No hay más personas detenidas que el herido.

“Ya se tiene un operativo en la zona para dar con el resto de los presuntos responsables”, precisaron las autoridades estatales.

Los reportes preliminares dieron a conocer que en el enfrentamiento de los efectivos con los agresores, dos personas civiles que estaban privadas de su libertad fueron rescatadas.

Ante ello, la Mesa de Seguridad de San Luis Potosí informó ayer que tras los hechos se desplegó un operativo por tierra y aire en la zona del Altiplano. Asimismo, detallaron que aseguraron dos vehículos.

“Prevalece un despliegue de personal de la Guardia Civil Estatal en la búsqueda de agresores que participaron el día de ayer”, aseguraron.

De acuerdo con el Secretariado Ejecutivo del Sistema Nacional de Seguridad Pública de enero a agosto en San Luis Potosí se han reportado 3 mil 692 delitos que atentan contra la vida. (Agencias)

La confrontación armada en Loberas dejó siete decesos. (Agencias)

CRECEN 700%

LOS CASOS DE DENGUE EN HIDALGO

El estado de Hidalgo registra un incremento del 700% en casos de dengue comparado con el mismo período del año pasado, señaló ayer la secretaria de Salud de esa entidad, Vanessa Escalante.

Precisó que los municipios más afectados se ubican en la Huasteca, principalmente Huejutla y Atlapexco. Sin embargo, también se ha registrado un caso en Zimapán.

(Agencias)

SENTENCIAN

A PEDERASTA A 110 AÑOS DE CÁRCEL

Un hombre fue sentenciado a 110 años de prisión en Chiapas por el delito de pederastia agravada en contra de dos menores de edad.

La Fiscalía General del Estado de Chiapas informó que, a través de la Fiscalía de la Mujer, obtuvo la sentencia contra de Amilcar “N” por el delito de pederastia en contra de dos niñas de 12 y 13 años, de identidad resguardada. (Agencias)

Síguenos en nuestras redes

PADRES ACUSAN AMENAZA DE TIROTEO EN UN COLEGIO DE NL

AVISTAN COCODRILOS EN PLAYA DE OAXACA TRAS PASO DE JOHN

Lagartos de hasta cuatro metros aparecieron en aguas de playa Ventanilla, en el municipio de Santa María Tonameca; Protección Civil llama a turistas a extremar precauciones

El paso del huracán John por Oaxaca provocó graves daños debido a las lluvias y fuertes vientos, además de que causó que los cocodrilos salieran de sus hábitats hasta ingresar a las playas que normalmente son visitadas por turistas.

Protección Civil del estado alarmó a las personas por la presencia de esta especie, especialmente en playa Ventanilla , en el municipio de Santa María Tonameca de esa entidad.

Desde el pasado miércoles, pobladores de esta zona costera reportaron el avistamiento de cocodrilos de hasta cuatro metros de longitud en las aguas de playa Ventanilla, por lo que ha causado preocupación a las personas.

Detallaron que este suceso no es normal, ya que los reptiles suelen habitar en lagunas y cuer-

Síguenos

pos de agua dulce, además de que antes no se había registrado algún avistamiento en las playas. Sin embargo, este fenómeno se pudo originar porque las fuertes lluvias del huracán conectaron la laguna de Ventanilla con el mar, lo que permitió que los cocodrilos fueran arrastrados desde su hábitat natural hacia el agua salada.

Por ello, Protección Civil emitió recomendaciones para evitar posibles ataques de un cocodrilo y tomar precauciones en caso de ingresar al mar.

ENFERMERA DEL IMSS LANZA JERINGAS USADAS A SUS COMPAÑEROS

Una enfermera del Hospital General Regional número 66 del IMSS en Ciudad Juárez, Chihuahua, perdió el control tras un conflicto con sus compañeros y los comenzó a atacar lanzándoles jeringas usadas, situación que fue grabada y difundida por redes sociales.

Mediante X se ha viralizado el video en el que se aprecia cuando la empleada de salud se molesta y lanza las jeringas a las personas, por lo que tuvo que ser sometida por guardias de seguridad luego de agredir a sus compañeros.

La identidad de la enfermera

Síguenos en nuestras redes

On line

no fue revelada y tampoco se dio a conocer exactamente el contexto y la razón por la cual atacó de esta manera a sus colegas del IMSS 66 de Ciudad Juárez.

Tras esta situación, la delegación estatal del IMSS en Chihuahua informó que lamenta estos

hechos y rechaza todo tipo de violencia cometida en contra de trabajadores o derechohabientes.

Mediante un comunicado, declaró que la situación fue controlada por los elementos de seguridad y por empleados del sitio.

Señalaron que se inició una investigación para deslindar responsabilidades y establecer las sanciones que sean determinadas.

Además, se informó que se abrió una carpeta laboral contra la trabajadora, que al parecer presenta problemas psicológicos.

(Redacción POR ESTO!)

Tanto residentes como turistas deben extremar precauciones y seguir las recomendaciones de la Secretaría de Medio Ambiente, Biodiversidad, Energías y Sostenibilidad. Dicha instancia recomendó que ante el avistamiento de un ejemplar hay que dar aviso a los números de emergencia 911 y 089, a la Coordinación Estatal de Protección Civil y Gestión de Riesgos, o a las autoridades municipales, ante el avistamiento de un ejemplar.

La Red de los Humedales Costeros de Oaxaca cuenta con grupos SOS Cocodrilos, por lo que las personas adicionalmente podrán comunicarse al teléfono 9541135992, en caso de ser necesario el manejo y contención de estos ejemplares.

Una presunta amenaza de tiroteo se registró en una escuela particular en el municipio de Apodada, Nuevo León, donde padres de familia manifestaron su preocupación a través de redes sociales. Los hechos ocurrieron en el colegio Castillo de Chapultepec, campus Oriente, donde los papás de los alumnos alertaron en grupos de WhatsApp sobre una supuesta amenaza de este tipo por parte de un estudiante del plantel, por lo que decidieron no llevar a sus hijos a clases. Aunque hasta el momento, el alumno que amenazó con un ataque armado no ha sido identificado, éste habría difundido una fotografía en la que se observan supuestas armas de fuego y equipo táctico, causando alerta a la comunidad estudiantil.

Hasta el momento, ninguna autoridad educativa o de seguridad ha emitido alguna reacción al respecto, pero se espera que los padres de familia acudan a dialogar con los directivos del colegio.

Elementos policiacos mantienen resguardado el edificio escolar mientras se aclara la situación y se investiga al alumno, que según algunos padres ya está identificado por sus compañeros, quienes dicen que es tranquilo.

Ciudad

Cancún, Q. Roo, viernes 27 de septiembre del 2024

Alarmante

En Quintana Roo el 76 por ciento de los partos en menores de edad, que se atendieron el año pasado pertenecen a niñas con edades que oscilan entre los 16 y 17 años

Muchas veces, estas jóvenes vienen de familias de escasos recursos, por lo que buscan el afecto en otras personas, que no siempre son las adecuadas. (Mario

El turismo sudamericano, a la baja por el tema de las visas negadas

Fuertes vientos tiran una estructura metálica en la colonia Arboledas

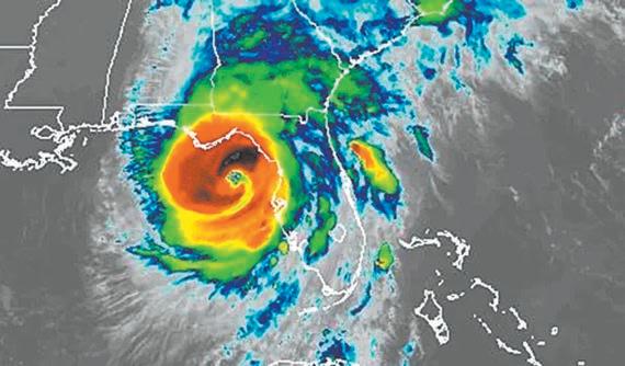
En el AIC persisten las afectaciones a causa del paso del Huracán Helene

Hernández)
 Página 11

Señalan falta de luz en varias zonas

La CFE anunció que el suministro se restableció en su totalidad, pero los ciudadanos lo niegan

CANCÚN.- Tras el paso de Helene por Yucatán y Quintana Roo, la Comisión Federal de Electricidad (CFE) informó que el servicio eléctrico se restableció a la normalidad; (generación, transmisión y distribución); sin embargo, continuará la atención de usuarios con apoyo de trabajadores de zona Cancún y personal que se trasladó desde Campeche y Chiapas para atender la emergencia, debido a que aún hay zonas que se reportan sin energía, como en la Supermanzana 24, en avenida Yaxchilán, donde incluso las oficinas centrales de Aguakan siguen sin luz y tuvieron que solicitar una planta para reactivar sus servicios. De acuerdo con información de la CFE, de los 153 mil 057 usuarios afectados (que representan el 8% de los usuarios de en los estados de Quintana Roo y Yucatán, ya se logró el restablecimiento a la normalidad del suministro eléctrico del 100 %. En menos de 24 horas; sin embargo, en redes sociales muchas personas de diversas colonias específicamente de Cancún, aseguraron que siguen sin luz como en la Supermanzana 51, donde tampoco tienen agua, en el Circuito Porto Vento, del fraccionamiento Porto Alegre, en la Supermanzana 501 o en la delegación Alfredo V. Bonfil frente al Colegio Mérida, no tienen electricidad otras áreas afectadas la Región 228 o la céntrica zona donde se ubican las oficinas de Aguakan y del Bienestar, en plena avenida Yaxchilán.

En respuesta, la CFE, aclaró, que siempre que hay una contingencia lo primero es asegurar el suministro eléctrico tanto en centrales generadoras, torres de transmisión, subestaciones eléctricas y una vez que se asegura el fluido se atiende a los usuarios, se hacen trabajos de reparación, sustitución y poda, pero generalmente quedan áreas, zonas, sectores, o usuarios con fallas, que pueden ser ya por otros factores o por una reparación mayor, pero se dijo que las cuadrillas siguen trabajando en todas las zonas, para que lo antes posible quede la ciudad ya sin fallas.

En el caso de Aguakan se tuvo que echar mano de una planta generadora para ofrecer sus servicios, y colocaron un papel donde decía que los únicos módulos disponibles son en Malecón, Héroes Lakín y Cancún Mall, porque el de la Gran Plaza también está fuera de servicio, pero por remodelación. Por otro lado, la Dirección de Servicios Públicos continuó con la limpieza de pozos, ramas o árboles caídos en toda la ciudad; sin embargo, lo hacen en dos etapas, la primera consiste en que las brigadas cortan y amontonar olas ramas o basura vegetal y después pasan los camiones recolectores para llevársela como en el camellón de la avenida 135, donde siguen un árbol que se cayó y todas las ramas ahí permanecen, en espera de que se las lleven, pero lo que no se en-

Algunas empresas como tiende, es que la propia gente que vive en esa zona (135, entre Andrés Quintana Roo y Nichupté) la que tira basura (de todo tipo incluyendo colchones) en las esquinas de cada calle. Provocando que la imagen de esa zona se vea deteriorada.

Por otro lado, personal del Centro de Acopio de la Secretaría de Ecología Municipal mencionó, que únicamente reciben electrodomésticos dañados, ya que con los bajones de luz mucha gente sufrió la descompostura de sus aparatos y como algunas veces no saben qué hacer con ellos deciden dejarlos tirados en las calles; sin embargo, hay empresas específicas que se encargarán de llevarse lo que se junte. El personal de Ecología estará jueves y viernes

Inconformes cierran calles de

la ciudad

Los benitojuerenses están replicando la manera de manifestarse ante las deficiencias

CANCÚN.- Alrededor de 50 personas mismas que conforman distintas familias mantienen bloqueadas parte de las avenidas Cobá y Tankah, por la falta del suministro eléctrico y agua en los últimos tres días. De acuerdo a testimonios, no fueron contemplados dentro del plan de contingencia activado por el gobierno, antes el paso del Huracán Helene frente a las costas de Quintana Roo, ya que en repetidas ocasiones solicitaron el apoyo para que y las cuadrillas de la Comisión Federal de Electricidad (CFE), no llegaron. Con bolsas de basura, ramas y autos, los habitantes mantie-

INVOLUCRADOS

personas colocaron ramas y piedras para prohibir el paso en varias vialidades

nen cerrada la transitada avenida Caoba, para impedir el paso a los automóviles incluyendo el transporte público por lo cual trabajadores de una plaza cercana han tenido que caminar para buscar su transporte en otra parte.

Este mismo bloqueo se está replicando en otros puntos de la ciudad, como la avenida Politécnico en la Supermanzana 517 y Tules a la altura de la Región 227, donde los habitantes padecen de la falta del suministro eléctrico.

Las autoridades de Tránsito, están apoyando únicamente haciendo presencia, y redireccionando los autos hacia rutas alternas.

(Jazmín Rodríguez)

Vecinos de las avenidas Cobá y Tankah carecen de agua y energía desde hace tres días. (POR ESTO!)
de 9 de la mañana a 5 de tarde en tres centros de acopio que se ubicarán en el estacionamiento de la tienda Walmart de Polígono Sur, en el Centro y Aurrerá de la avenida Kabah. (José Pinto)

La entidad cuenta sólo con una institución pública donde se pueden captar entrañas siendo la Unidad 17 del

Avanza cultura de donación de órganos

En el 2023 se lograron 23 captaciones; mientras que hasta el mes pasado se contabilizaban 20

CANCÚN.- Durante el 2023 se lograron 23 captaciones de órganos y a pesar que aún hay muchos cuestionamientos respecto a la cultura de la donación, hasta agosto de 2024 se han logrado 20, por lo que aún hay tiempo de igualar o superar la cifra del año pasado, los principales procuraciones son de córneas, riñones y tejidos.

Lo anterior fue dado a conocer por Moisés Campos Navarro, coordinador hospitalario de Donación de Órganos y Tejidos del Hospital General Regional número 17 del Instituto Mexicano del Seguro Social (IMSS) en Quintana Roo.

La tendencia negativa en cuan-

to a la donación de órganos en los más bajos es de un 80 por ciento lo que nos deja por arriba de la media nacional que se encuentra en 60 por ciento, dijo.

Explicó que en el caso de Quintana Roo la donación de órganos ha ido más lenta en comparación con el resto del país; hace un par de años Guanajuato recibió un reconocimiento a nivel mundial por la alta tasa de donantes altruistas.

Lo que indica que los estados del Sur y del Norte se quedan cortos a comparación con los del centro del país donde hay una mayor apertura en el tema lo que ocasiona que se tenga conciencia de lo que

es donar un órgano para salvar la vida de otra persona.

La entidad cuenta sólo con una institución pública donde se pueden captar órganos siendo el la Unidad 17 del IMSS que se ubica en la Región 510 y se espera que próximamente también se autorice el Hospital General de Cancún “Dr. Jesús Kumate Rodríguez”, mientras que en el caso del sector privado sólo hay dos nosocomios que cuentan con esa licencia. Actualmente en la entidad no se hacen trasplantes; pero quienes van a recibir un riñón son canalizados a la ciudad de Mérida, Yucatán en el caso de los que sean interve-

Violencia y disfunción familiar, causas de embarazos en menores

CANCÚN.- Afortunadamente los embarazos en adolescentes ya no está normalizado como hace 30 años, pero es un problema social persistente; sin embargo, son muchos los factores que llevan a los jóvenes a tomar acciones que no corresponden a su edad. El primero es la falta de información sobre el ejercicio de una sexualidad libre y responsable, ya que aún se arrastra el tema como un tabú, a pesar de que desde hace años es algo que se maneja en las escuelas públicas, dijo Concepción De Garay Vargas, titular de la Dirección de Prevención de Riesgos Psicosociales del Sistema para el Desarrollo Integral de la familia (DIF) Benito Juárez. En Quintana Roo el 76 por ciento de los partos en menores de edad, que se atendieron en 2023, fueron de adolescentes entre 16 y 17 años, de acuerdo con el último

censo que realizó el Instituto Nacional de Estadística Geografía ( Inegi ), sobre la Estadística de Nacimientos Registrados, de mil 11 alumbramientos 764 fueron en chicas de entre 16 y 17 años. Dijo que estas jóvenes vienen de familias de escasos recursos o disfuncionales por lo que buscan el afecto en otras personas que no siempre son las adecuadas, a esa edad los menores son altamente influenciables por no contar con las herramientas para identificar la violencia y el abuso, por lo que se dejan llevar por quienes creen los ama. En este punto es donde entran como institución y se busca el apoyo integral para las madres adolescentes, para que puedan continuar con su educación académica, también se les brindan asesorías para que ellas construyan un plan de vida de acuerdo a sus necesidades, ver las

situaciones de riesgo a futuro si es que no se compromete con mejorar su futuro y el de su hijo, dijo. Son muchas los áreas en las que hay que trabajar cuando una menor acaba de ser mamá, ya que debe atender su alimentación, dar atención médica, asesoramiento psicológico y acceso a educación especializada para seguir estudiando, así como el cuidado y vigilancia de los recién nacidos. Para que las menores no sean doblemente afectadas ni sufran abusos es importante formar una red de apoyo conformada principalmente por los padres, ya que son los familiares más cercanos, por lo que en caso de que por alguna razón éstos no puedan o quieran hacerse cargo del infante se les da a conocer que está abierta la opción de darlo en adopción.

nidos para implantarles la córnea o el hígado se trasladan al Hospital La Raza en la Ciudad de México.

La donación de órganos en vida implica un proceso legal, por lo que se debe hacer del conocimiento a la familia en caso desafortunado que la persona pierda la vida.

Para ser candidatos a la donación deben estar libres de infecciones graves, cáncer o padecimientos crónicos como diabetes, hipertensión arterial, pero en ocasiones no impiden ser un donante, eso depende de casos específicos.

El tener conciencia del tema hará que cada vez más personas sumen para darle oportunidad a

otras de salvar sus vidas, con la donación de órganos y sangre. De acuerdo con información del Gobierno Federal, hasta el primer semestre del 2024 había una lista de espera con 20 mil 53 personas, los tres primeros lugares los ocupan 16 mil 651 quienes aguardan por el trasplante de un riñón; seguido de 3 mil 118, que esperan por una córnea; y 229, un hígado. La dependencia que tiene a más receptores en lista de espera es el IMSS, con 15 mil 305 personas; mientras que, el sector privado contabiliza mil 890, ocupando el segundo lugar.

(Angélica Gutiérrez)

(Angélica Gutiérrez)

“Buscar a un hijo no tiene precio”

Familiares de desaparecidos pierden poco a poco pertenencias y propiedades, para financiar sus averiguaciones

CANCÚN.- Al dolor de una desaparición sigue el calvario de la búsqueda, alimentado por la incertidumbre, la desesperación, la enfermedad y las deudas. Las familias deben dividir su tiempo entre el trabajo y los operativos para encontrar a sus seres queridos, si bien les va; algunas incluso, tienen que vender sus pertenencias, terrenos y casas para solventar los gastos.

Luego que una persona se reporta como no localizada, su familia inicia la búsqueda entre amigos, parientes o vecinos, pero saldar los costos, más la vida diaria, genera que muchas veces sea difícil enfocar toda la atención en encontrar a un hijo, un hermano, un padre o una madre que se ha perdido, pues requieren seguir trabajando.

“He tenido que vender mis cosas, empeñar algunas más y dejar mi trabajo por buscar a las personas desaparecidas y ayudar a las familias que están padeciendo el dolor de no saber dónde están sus hijos, hermanos y papás”, expresó Graciela Suárez González, integrante del colectivo “Verdad, Memoria y Justicia”, quien lleva seis años y cuatro meses indagando el paradero de su hijo. Ella dejó su trabajo como vendedora en los tianguis para participar en las búsquedas de personas desaparecidas. Ahora genera recursos a través de algunas cosas que comercializa en redes sociales o en su casa, pues la gente la conoce y a veces le toca la puerta para comprarle algo, o tiene trabajos ocasionales una o dos veces por semana. Prefiere enfocarse en los operativos.

“Vendí una bicicleta, mi triciclo con el que llevaba mis cosas al tianguis, empeñé mi celular y otras cosas que tenía, todo para tener dinero y poder buscar a los jóvenes desaparecidos; además, mucha gente ha perdido su patrimonio o sus casas, porque los extorsionan con decirles dónde están sus familiares a cambio de dinero, pero sólo los engañan”, compartió. Buscar a un hijo no tiene precio. El costo de perder un familiar no sólo es emocional, conlleva desgaste físico y psicológico, también económico, expresó.

“La fiscalía no tiene respuestas”, acusan las víctimas indirectas, pues los operativos se acumulan, pero muchos no tienen resultados.

baja, hasta los gastos mínimos, como el transporte, se vuelven difíciles. La fiscalía únicamente paga la movilización, dijo.

Sin embargo, conseguir un “patrocinador” no está dentro de los planes, pues con frecuencia las personas que no conocen su situación y carecen de empatía, las acusan de ser “vividoras”.

“La gente se burla de nosotros. En una fecha en especial, como el 30 de agosto, el Día Internacional de las Personas Desaparecidas, cuando hicimos una caminata, la gente nos gritaba que fuéramos a cuidar a nuestros esposos. Decían que a nuestros hijos los desaparecieron por ser unos asesinos”, contó.

Añadió que la discriminación es una pared con la que chocan todos los días, y ni siquiera los amigos apoyan. Señalan a su hijo

delincuentes por tener tatuajes, lo que consideró absurdo, pues eso no define a una persona. Ella misma tiene dos, y nunca ha pisado la cárcel, dijo.

En cuanto a la salud, contó que padece de presión arterial alta y gastritis. También fue víctima de la depresión por largo tiempo, pero sigue adelante, incansable, incluso a espaldas de sus otros hijos. El mayor, dijo, únicamente le pide que tenga cuidado; la otra, no estaría de acuerdo.

Labor deficiente

Acusó que ella no les cree a las autoridades de la Fiscalía General del Estado, ni a su impartición de justicia, pues a su parecer se dedican a engañar a las familias.

Un caso reciente, ocurrido en Playa del Carmen, evidenció el

Llegar a mi casa es un infierno para mí, porque mi hijo vivió conmigo, andábamos en todos lados”.

GRACIELA SUÁREZ MADRE DE DESAPARECIDO

deficiente trabajo y la falta de empatía de los responsables. Por más de un año y nueve meses, una mujer buscó a su marido, cuyo cuerpo llegó al Servicio Médico Forense (Semefo) a la semana de su desaparición. La primera vez que acudió a buscarlo, no le mostraron el catálogo de cuerpos, sino solo algunas fotos, por lo que la familia vivió un infierno durante meses.

Ella misma cree que su hijo está en el Semefo, pues a esa conclusión

la han llevado las investigaciones que ha hecho todos los días, por casi siete años, pero las autoridades no colaboran con ella y desestimaron las pruebas que ha presentado.

“Encontrar lo que encontremos”

Graciela es una mujer segura de sí misma, desafiante. Los años de búsquedas bajo el sol la “han curtido”. Eso le ha dado “estómago” para seguir de pie a pesar de haber visto cosas inconcebibles. En una búsqueda en Chetumal desenterraron sacos repletos de huesos. “La fi scal que se metió a un pozo sacó osamentas, había también tambos pozoleros. Soy de aguantar, no rápido me botas”. Finalmente dijo que a ella no le importa no tener dinero, sale no

La discriminación es una pared con la que chocan todos los días; personas con falta de

por su hijo, sino por los hijos de todos, a veces únicamente con un litro de café para pasar el día, con la única finalidad de traerle descanso y paz a una familia.

“Encontrar lo que encontremos. Yo en lo personal he encontrado a varios. Les he entregado lo que llamamos ‘los tesoros’ a las mamitas y yo soy feliz. Hasta un dedito he encontrado y he entregado y yo soy feliz, porque ya va a descansar”, finalizó.

Rascarse con sus propias uñas

Cada familiar de los desaparecidos debe gestionar los recursos para las búsquedas, y esto es un tema personal con las autoridades, para evitar malos entendidos sobre el dinero o acusar desvíos, declaró la titular de “Verdad, Memoria y Justicia”, Romana Rivera Ramírez.

Algunas familias obtienen recursos del gobierno para la movilización de las integrantes de los colectivos de búsqueda en Quintana Roo. Esto se realiza con una gestión a través de la Comisión Ejecutiva de Atención a Víctimas del Estado (Ceaveqroo),

“Cuando se necesita mover la familia de alguna persona desaparecida para buscarlo en otro municipio deben pedir el recurso a través de Ceaveqroo; como víctimas indirectas tienen el derecho. Por ejemplo, hay un joven que desapareció en Chetumal, pero su familia vive en Cancún, entonces el Estado debe darles los recursos”, afirmó. Rivera Ramírez mencionó que cuando la búsqueda se realiza en

Recientemente se tomaron muestras de ADN a las familias, para apoyar en la identificación de los cuerpos y los restos localizados.

del Estado, a través de la Unidad de Personas Desaparecidas, la moviliza de las oficinas de la dependencia al punto del operativo, asimismo les brinda alimentos y al concluir la diligencia la regresa al lugar de reunión. “Antier fui a una búsqueda en Playa del Carmen, por ejemplo, en esos casos se gestiona el recurso para los gastos, aunque después se suspendió por las con-

con las características la familia encontró el cuerpo que ya tenían en las instalaciones del Servicio Médico Forense”, declaró. En este caso, el cuerpo ya tenía un año con ocho meses en la morgue, pero la falta de tacto de los forenses, no hacer la confronta con el cuerpo y los datos del expediente, provocó que los familiares pasaran meses de agonía sin saber nada, cuando el cuerpo lo recupe-

personas desaparecidas tienen empleos como cualquier otra persona, de ahí continúan sacando recursos para sus gastos personas y pagar pasajes de transporte público de sus casas a la Fiscalía, pues en su mayoría de los casos ese es el punto de reunión para los operativos de búsquedas.

Sobre el tema de la toma de muestras de ADN, Romana Rivera indicó que recientemente

se embalaron 164 muestras que serán llevadas a la Ciudad de México al Centro Nacional de Identificación Humana, para después llevarlas a un laboratorio en Guatemala y en seis o siete meses tener los resultados.

“El colectivo ‘Verdad, Memoria y Justicia’ hizo la gestión con el Gobierno Federal para la toma de estas muestras, ya se hicieron y se las llevaron, debemos esperar y todo este gasto lo paga la federación” concluyó.

(Martín Chí/Luis Hernández)

empatía les gritan en las marchas que se vayan a atender sus casas.

Autoridades, omisas en aparcaderos

Empresas concesionarias esquivan responsabilidad ante atracos y daños a vehículos; usuarios, desprotegidos

CANCÚN.- Las empresas que operan los estacionamientos de los centros comerciales de la ciudad caen en varias ilegalidades a las que contribuye la falta de vigilancia de la autoridad encargada de fi scalizarlas; estas van desde la falta de regulación en las tarifas, a la negativa a hacerse responsables por robos o daños a vehículos. A esto se suman las quejas de los usuarios por el mal servicio que reciben, pues con frecuencia, las máquinas para pagar no sirven o no dan cambio.

A pesar de esto, las autoridades municipales, responsables de su verifi cación, se muestran omisas. Aunque el pasado marzo clausuraron todos los cajeros y plumas en el estacionamiento de Plaza Las Américas, a cargo de la empresa Ranver, debido a las constantes quejas de clientes por irregularidades y servicio deficiente, como fallas constantes en las máquinas y por no hacerse responsable por daños o robos a los vehículos, a los pocos días, la concesionaria pagó una multa de 60 mil pesos y continuó operando normalmente.

Aunque advirtieron que éste fue el primero de varios operativos en el resto de las plazas y estacionamientos de la ciudad y que estarían pendientes de que las empresas renovaran sus equipos para garantizar el buen funcionamiento, pasaron los meses y no se hizo nada, acusaron usuarios de este servicio.

En Benito Juárez la autoridad municipal es la encargada de regular el precio de los estacionamientos y fi scalizar que las empresas cumplan lo que ofrecen; sin embargo, los usuarios de las plazas comerciales denuncian que el criterio de cobro no es uniforme e ignoran si hay un mecanismo para determinarlo.

Sí existe, es el Reglamento de Estacionamientos, cuyo Artículo 61 del Título Séptimo señala que el presidente(a) municipal es el encargado de proponer las tarifas y el Ayuntamiento de aprobarlas. Para ello se considerarán la clasifi cación y especifi caciones del estacionamiento y la zona en la que se ubique, si es el Centro o el boulevard Kukulcán.

Robos

Uno de los problemas más graves denunciados por los usuarios de este servicio son los robos o cristalazos a las unidades, pues no todas las empresas concesionarias de estacionamiento se hacen responsables, lo que incumple la ley.

Según el Artículo 39 fracción VIII del reglamento, “las personas físicas y/o morales responsables de los establecimientos de estacionamientos al público, deberán contar con póliza de seguro vigente al menos por la cantidad de 9 mil salarios mínimos generales, para garantizar los vehículos estacionados en ellos, contra robo total y/o de autopartes, pérdida total, daño parcial, así como

la empresa Ranver, pues en Plaza Las Américas, el hurto llegó a ser una constante.

Asimismo, la fracción X del artículo señala que se deben “tomar las precauciones y medidas necesarias para evitar que se cause daño a los vehículos mientras se encuentren en el estacionamiento”.

Luego de la sanción recibida, en el centro comercial aparecieron anuncios con “benefi cios” que antes no había como: monitoreo las 24 horas con cámaras de vigilancia, personal de seguridad dentro de la plaza y los estacionamientos y auxilio vial, o robo. Por otra parte, no todos los usuarios denuncian los robos o irregularidades que experimentan. Algunos simplemente no le “Uno no tiene tiempo para

estar denunciando cada irregularidad que pasa en las plazas o en la ciudad, a lo mejor estoy mal, pero por experiencia ya no lo hago porque nadie te resuelve nada, sólo pierdes tiempo y dinero, así es México y todos lo sabemos, me gustaría decirle que las denuncias sirven de algo, pero en la mayoría de los casos no es así”, dijo Flor.

Sin embargo, otros mencionaron que sí denunciarían los daños a su vehículo o los robos, ante el Ministerio Público. Además, reprocharon a las autoridades municipales, no poner orden con esas empresas, pues, aunque pagan por un cajón no les garantizan que su vehículo esté perfectamente resguardado.

“En algunas plazas sí he vis-

cámaras de vigilancia, pero no me consta que funcionen. Tengo conocidos que han tenido malas experiencias en los estacionamientos, sobre todo en los subterráneos y cuando han solicitado que se revisen las grabaciones, resulta que no funcionan”, aseveró otro cliente.

En Plaza Outlet por ejemplo, el estacionamiento está a cargo de la empresa es Eli-Park, que, de acuerdo con su política, limita su responsabilidad únicamente por el robo total del vehículo (no incluye motocicletas ni bicicletas) y no se hace responsable por: objetos, documentos, celulares, o accesorios al interior de auto, evidentemente tampoco cristalazos, que es lo más común. Tampoco por daños de ninguna clase

El estacionamiento de Plaza Las Américas fue clausurado en meses pasados, debido a quejas constantes de clientes. (Fotos POR ESTO!)

En Marina Puerto Cancún, consumidores denunciaron que, en ocasiones, los cajeros no funcionan correctamente y que la tarifa mínima es de 20 pesos.

ocasionados al vehículo o atracos parciales y mucho menos por da ños por cuestiones de la naturaleza, como incendios o huracanes.

Abusos

El estacionamiento de Marina Puerto Cancún, está abierto las 24 horas, pero no todos los cajeros funcionan; varios tienen la leyenda de que están en mantenimiento. La tarifa mínima es de 20 pesos por las dos primeras horas y posteriormente se cobran entre 5 y 8 pesos por cada 20 minutos; siendo la máxima por día los 120 pesos, con 20 minutos de tolerancia para el ascenso y descenso, pero si el cliente pierde su boleto, deberá pagar 150.

Empleados o locatarios deben pagar cada mes mil 200 por 24 horas y 750 pesos por 12 horas, lo que para algunos es abusivo, pues aseguraron que en otras plazas les cobran 500 por 12 horas. Además, a partir del 1 de septiembre encarecieron 100 pesos el costo de la pensión.

La principal queja en esta plaza proviene de los clientes, que afirman que los cajeros no les dan cambio si no cuentan con la cifra exacta, o les regresan los billetes y requieren buscar monedas, pero tampoco acepta todas, y si van a la caja de la empresa, ubicada a un costado de uno de los accesos de la plaza, casi siempre está vacía, no hay con quien quejarse y la situación se complica. Aunque algunas personas no protestan, muchos sí se desesperan por las fallas en esos cajeros.

Otra molestia, es que muchas veces deben hacer fila porque no todas las máquinas funcionan correctamente (devuelven el bi -

a los usuarios. Los que sí hay y en cada entrada de la plaza son guardias de seguridad, con chaleco antibalas y debidamente armados, porque aseguraron que se incrementaron los robos, si bien no de autos en su totalidad, sí de robos o cristalazos. “Les abren los autos cuando la gente se tarda, no sé si los siguen o si tienen cómplices que les van informando, pero la verdad s í ha habido robos”.

Negocio redondo

Los clientes de centros comerciales señalan con frecuencia que les parece una injusticia ir de compras y tener que pagar por estacionar su coche, además de la falta de uniformidad en el cobro, lo que habla de una mala o nula regulación.

“Debería ser como en otras tiendas, donde si ya compraste, te sellan tu boleto en la caja y listo; pero en las plazas es un negocio redondo y lo peor es que si pierdes tu boleto te cobran entre 100 y 150 pesos, dependiendo de cada lugar y pierdes mucho tiempo”, dijo Elvira N., quien optó ni siquiera ir a levantar una queja porque es una persona mayor y se pierde más tiempo.

Así como ella, otras personas de la tercera edad señalan que han perdido sus tiquetes y deben caminar de un extremo al otro de la plaza para que se los repongan, pero les piden fotos de sus placas y otros documentos, les cobran por el papel perdido y además les hacen perder más de media hora.

“Pero lo peor es que no se hacen responsables de los robos o daños en tu auto; entonces para

Supuestamente, la Profeco se encarga de calibrar las máquinas instaladas en estos establecimientos.

qu é cobran si no se hacen responsables. Es sencillo, porque saben que la plaza no cuenta con la seguridad suficiente para garantizar que tus cosas estarán a salvo”, dijo Luis Gallardo.

Sale “al quite”

Respecto al as quejas de usuarios, las autoridades de la Procuraduría Federal del Consumidor ( Profeco ) realizan visitas de verificación, con motivo de las denuncias, que suelen ser escasas.

“Se debe aclarar, que esos equipos -máquinas o cajeros de cobro o instrumentos de medición-, son calibrados por

la Profeco , corroborando que la hora de ingreso, coincida con el tiempo en el que el consumidor estuvo al interior del estacionamiento, mientras que el sello amarillo es adicional al holograma que se coloca en el instrumento calibrado. Ambos, para darle certeza jurídica a las partes consumidoras”, aseguró personal de la Procuraduría. La calibración de las máquinas son a petición del proveedor y la visita de verificación se hace atendiendo a la denuncia que se presentó, por lo que se invitó a los proveedores a que calibren sus instrumentos con la Profeco , en tiempo y forma.

De un total de mil 553 máquinas de cobro (en todo Quintana Roo, pero un alto porcentaje en Cancún con casi el 50 por ciento); 553 cuentan con holograma de calibración; y 320 de ellas con los sellos amarillos. Si bien se dijo que en lo que va del año únicamente se han recibido tres denuncias por irregularidades en esas máquinas, no significa que no sucedan decenas de casos a diario, simplemente que a los usuarios se les hace engorroso ir hasta la Profeco a quejarse porque el cajero le cobró 5 o 10 pesos de más, no le recibió su billete o no le devolvió el cambio. (José Pinto Casarrubias)

(Fotos POR ESTO!)

En los últimos días los operativos sorpresas de la autoridad en contra de

Acusan alianza “taxistas-Imoveqroo”

El sindicato apoya la supervisión hacia conductores de plataformas; estos acusan contubernio

CANCÚN.- Rubén Carrillo, secretario general del Sindicato de Taxistas “Andrés Quintana Roo”, se pronunció este jueves a “favor de la igualdad en el transporte”, recalcó que están a favor de los operativos que realiza el Instituto de Movilidad de Quintana Roo (Imoveqroo) quien, desde su perspectiva actúa de manera equitativa e imparcial mientras que los conductores de las plataformas digitales refutaron esta situación, asegurando que no sólo son parciales los operativos, sino que acusaron a los inspectores del Instituto, de

estar aliados con los taxistas para ponerles “cuatros” y detener sus unidades de forma arbitraria.

“Una cosa es hacer valer la ley y otra cosa es contratar gente en la ilegalidad para ponernos cuatros y lo peor de todo, gente que trabaja en el sindicato de taxistas. Debemos hacer alzar la voz con las pruebas que tenemos, que esto se haga viral para que vean el nido de corrupción que hay detrás de estas detenciones”, aseguró indignado un conductor de las plataformas, con los operativos que se realizan en su contra o “cacería” como lo

han llamado los propios taxistas.

“Es legal que los chafiretes disfrazados pidan el servicio en la plataforma, sólo para que te detengan los del Imoveqroo. Ellos son los primeros que violan la ley, solapados por los inspectores del instituto y luego dicen que no hay corrupción”, cuestionó otro conductor de estas aplicaciones.

Hace unos días una mujer -aparentemente integrante del gremio taxista- solicitó un servicio a través de la aplicación, pero fue una trampa porque lo pidió a unos metros de donde el

El turismo sudamericano, a la baja por el tema de los visados

CANCÚN.- En lo que va de esta semana, Cancún ha tenido una ocupación acumulada del 61 por ciento, cifra preocupantemente baja, considerando que durante años ha sido considerada la “joya de la corona” en materia turística del Caribe Mexicano, pero a partir del segundo semestre de año, el destino poco a poco ha sido desplazado por otros sitios como República Dominicana, algo que reconocieron los propios prestadores de servicios, pero también factores como la inseguridad o por el tema de los visados, han provocado una baja en los visitantes, netamente entre los sudamericanos. De acuerdo con un estudio del Centro de Investigación Avanzada en Turismo Sostenible (STARC por sus siglas en inglés) han dejado de llegar al Caribe Mexicano, casi un millón de turistas sudamericanos,

por el tema de los visados, lo que se traduciría en pérdidas millonarias.

En cifras que ya son escandalosas por la repercusión que representa para el turismo en México, se reporta que han dejado de llegar al país 842 mil 251 turistas procedentes de Brasil, Perú, Ecuador y Colombia por la aplicación de políticas migratorias que ha impuesto México y que han golpeado de manera directa a destinos como el Caribe Mexicano, el principal captador de estos mercados.

El STARC de la Universidad Anáhuac, presentó recientemente estas cifras que describen el impacto negativo en el turismo por el tema migratorio y de visado impuestas al turismo sudamericano y las constantes quejas por maltrato que reciben tanto en las aduanas, como en Migración, principalmente a turistas sudamericanos (léase

brasileños, peruanos, ecuatorianos y colombianos) que continuamente se quejan porque son retenidos en migración), provocando que elijan otros destinos como la República Dominicana. cos, coincidieron que temas como la inseguridad, pero también otras ofertas de destinos como en la República Dominicana, le han “arrebatado” mucho turismo desde el verano y ahora en septiembre a Cancún, hasta en un 18 por ciento en comparación otros años, según sus datos y no descartaron que sigan las temporadas bajas para el destino, como en antaño.

memora el Día Mundial del Turismo, que fue instituido por la Asamblea General de la Organización Mundial del Turismo (OMT). (José Pinto Casarrubias)

un operativo de revisión, pero esta situación continúa y los conductores de las plataformas se siguen quejando que los operativos no son parejos, mismos que reiniciaron justo el miércoles y el jueves el líder del sindicato alabó el trabajo de Movilidad.

“Estamos a favor de los operativos y reconocemos que el Instituto de Movilidad de Quintana Roo está actuando de manera equitativa”, señaló Rubén Carrillo, destacando la imparcialidad de las acciones

esencial la creación de una mesa de diálogo, en la que participen los prestadores del servicio público, las plataformas digitales y el Instituto de Movilidad, con el propósito de asegurar el cumplimiento de la Ley vigente en Quintana Roo, “es necesario que todos los actores involucrados trabajen en conjunto para asegurar un servicio de transporte justo y equitativo para todos”, dijo; pero hay que recordarle a Carrillo, que esta reunión se dio hace más de un año, aunque

Pocos visitantes se ven hoy por el bulevard. (Mario Hernández)

Chetumal

Quieren explotar la bahía de la capital

Empresarios dijeron que al ser un

CHETUMAL.- Con la excusa de querer atraer más visitantes a la capital del estado, empresarios que forman parte de la Canaco-Servytur Chetumal-Tulum, dicen que se sienten limitados para desarrollar proyectos que permitan explotar el sistema natural de la bahía, debido a que es considerada como Área Natural Protegida (ANP), lo que impide que sea utilizada para otras actividades.

De acuerdo con Amir Padilla Espadas, presidente del organismo, esto evita que traigan más turistas a la ciudad de Chetumal.

Se trata de la declaración de la bahía como ANP , que se decretó desde 1996, al ser considerada como Reserva Estatal Santuario del Manatí, por lo que no se pueden ofertar actividades en el boulevard que impliquen la inclusión de la bahía, ya que existen muchas restricciones al respecto con la finalidad de respetar y conservar el área natural.

Aun así, Padilla Espadas aseguró que, si se diera un trabajo en conjunto entre los empresarios y las autoridades locales, Chetumal podría ser impulsado de manera que la afluencia turística creciera todo lo que no ha crecido en años, pues existen propuestas de actividades acuáticas de ecoturismo que atraerían a los visitantes a pasar más tiempo en la ciudad, en vez de que únicamente lleguen de entrada por salida.

Sin embargo, en muchos sitios naturales, las actividades acuáticas terminan por repercutir en los sitios naturales, como en el caso de Isla Mujeres, en donde está prohibido el ingreso de motos acuáticas y cualquier otro artefacto propulsado a chorro en la Costa Occidental, toda vez que estas tienen un impacto negativo en los ecosistemas marinos.

Al respecto, señaló que, si bien la mayor afectación se ha reflejado en la ciudad capital, también otras iniciativas se han visto frenadas por las leyes en materia ambiental: “hay incluso un empresario, por el lado de

El sitio es reconocido como un Área Natural Protegida, desde 1996, al ser considerado como reserva estatal del manatí.

las leyes del aprovechamiento”.

También agregó que uno de los aspectos que son pasados por alto al momento de frenar las propuestas de desarrollo ecoturístico es que cuando se habla de sostenibilidad, además del cuidado del medio ambiente igual se trata de los aspectos económicos y sociales, porque debe existir un equilibrio entre los tres, y en el caso que respecto a la bahía las autoridades sólo se han enfocado en el ámbito ambiental, descuidando los otros dos.

Proponen crear POELCP

La insistencia de los empresarios por explotar la bahía de Chetumal se suma a la oposición de los ejidatarios de la comunidad Aarón Merino Fernández, los cuales se oponen a la intención de

Área Natural Protegida, por lo que han propuesto, la creación de Programas de Ordenamiento Ecológico Local Comunitarios Participativos (POELCP).

Sobre la propuesta, la bióloga María Luisa Villarreal Sonora explicó que el POELCP que se ha realizado en el ejido mencionado, es resultado de cuatro años de un proceso de investigación y consultas, en el que se ha trabajado con el fin de que se convierta en una guía para el resto de los núcleos agrarios ubicados en la cuenca de Bacalar; además, cuenta con el reconocimiento legal de la Secretaría de Medio Ambiente y Recursos Naturales.

A diferencia de las ANP, los POELCP surgen de manera voluntaria, tras un acuerdo de los habitantes de un ejido para destinar un área para su conservación, que se

regula el asentamiento humano y es reconocido por el Registro Agrario Nacional, explicó Villareal Sonora. Con esta alternativa, los comuneros mostraron que cuentan con la capacidad de autorregularse y planificar el desarrollo sustentable en sus tierras, sin la intervención de organizaciones externas que buscan imponer condiciones desde una realidad ajena a la de los habitantes, siendo estos quienes conocen las necesidades que existen en su contexto y, por lo tanto, quienes deben tomar las decisiones.

Entra mina de Calica

Mientras los empresarios buscan explotar la zona natural, hace unos días, el presidente Andrés Manuel López Obrador publicó un decretó por el que se crea una nueva Área Natural Protegida (ANP)

en Quintana Roo, con una extensión de más de 53 mil hectáreas, entre las que se incluye la mina Calica propiedad de la empresa estadounidense Vulcan Material en Playa del Carmen. El decreto, publicado en el Diario Oficial de la Federación, invoca el artículo cuarto constitucional que establece que “toda persona tiene derecho a un ambiente sano para su desarrollo y bienestar”. De las 53,227 hectáreas que abarca la nueva ANP, un pequeño porcentaje (4.4%) corresponden a las 2,387 hectáreas divididas en cuatro predios que pertenecen a la trasnacional Vulcan Materials, propietaria de Calizas Industriales del Carmen (Calica) y del muelle Punta Venado, desde donde embarcaban hasta el año pasado el material pétreo extraído del subsuelo mexicano para exportarlo a la Unión Americana.

(Anahí Chamlati)

Baja presión de agua falla a colonia

Habitantes de Flamingos se quejaron por el deficiente servicio; autoridades no ofrecen solución

CHETUMAL .– Los habitantes del fraccionamiento Flamingos han denunciado que, desde hace semanas, la presión del agua es insuficiente, impidiendo que llegue a los tinacos instalados en las azoteas de sus hogares. Debido a esto, se ven obligados a llenar recipientes desde la toma principal para realizar sus tareas domésticas y cubrir sus necesidades diarias.

A pesar de las constantes quejas, la Comisión de Agua Potable y Alcantarillado ( CAPA ) no ha ofrecido una solución. Los vecinos afirman que esta situación es inédita para ellos, lo que los tomó por sorpresa. No cuentan con cisternas ni con bombas que les faciliten llenar los depósitos, lo que agrava aún más el problema.

Llevan dos meses

Este inconveniente comenzó hace dos meses y falla también a otras colonias de la ciudad. La escasez de agua está afectando severamente a los habitantes, incluso en términos de salud, pues el líquido es indispensable para la desinfección de alimentos, la higiene personal y la limpieza del hogar, actividades clave para evitar enfermedades.

CAPA ignora a la ciudadanía

Hasta la fecha, ni CAPA ni las autoridades locales han dado alguna respuesta oficial o se han acercado a los residentes para entender la gravedad de la situación y ofrecer una solución. Además, se les prohíbe instalar bombas presurizadoras sin la autorización correspondiente, lo que retrasa aún más la posibilidad de mejorar el suministro.

Esta nueva denuncia refl eja la falta de atención de las autoridades hacia la ciudad, dejando a los habitantes en una situación de vulnerabilidad. La escasez de servicios públicos básicos dificulta el desarrollo de sus actividades diarias.

Desafortunadamente, las zonas más alejadas del Centro urbano por lo regular son las más afectadas por problemas recurrentes con el agua y la electricidad. Pese a que estas áreas son visitadas frecuentemente por candidatos en tiempos electorales, la atención a sus problemas continúa siendo insuficiente.

(Anahí Chamlati)

Residentes aseguraron que nunca antes habían enfrentado una situación similar, lo que los tomó desprevenidos. (Anahí Chamlati) El líquido no llega a los tinacos instalados en la azoteas de las viviendas y se ven obligados a usar la llave de paso

Denuncian desplome de estructura metálica

CHETUMAL.– Después de los fuertes vientos que se sintieron durante cerca de 15 minutos el pasado miércoles en la ciudad, se reportó que una estructura metálica se derrumbó en la colonia Arboledas, por lo que vecinos de la zona solicitaron la presencia de las autoridades y cuerpos de emergencia para retirar las láminas y demás materiales.

Los hechos ocurrieron en una vivienda de la avenida Flamboyán entre Maculix y Machiche, donde acudieron los agentes de la Policía Estatal y elementos del Heroico Cuerpo de Bomberos para brindar auxilio a los habitantes del inmueble y retirar los objetos que obstaculizaban la vialidad y evitar que los presentes salieran heridos.

Una vez en el sitio, los policías procedieron a delimitar el perímetro, aunque los vecinos ya habían cerrado el paso en zona para evitar cualquier accidente automovilístico que pudiera suscitarse. Los Bomberos, por su parte, procedieron a levantar los materiales metálicos, con el apoyo de los habitantes.

Afortunadamente, a pesar de lo aparatoso que resultó el incidente, no se reportaron personas heridas ni lesionadas, por lo que no se requirió la presencia de los paramédicos y ninguna

persona tuvo que ser trasladada al hospital para su atención médica. Únicamente se reportaron

tarde del pasado miércoles se presentó un lapso de rachas de Chetumal, sin que se presentaran lluvias y el viento volvió a su ve-

Debido a que no se trató de ningún ilícito, las autoridades y los bomberos procedieron a retirarse del lugar una vez que se realizó el levantamiento de

El fuerte viento que se registró ocasionó un incidente; no hubo lesionados.

Aeropuerto

Helene les arruinó las vacaciones

Pareja de turistas estadounidenses juró regresar al Caribe Mexicano, pero sin huracanes

CANCÚN.- De regreso a casa, luego de unas vacaciones llenas de emociones ante la llegada de Helene, una pareja de norteamericanos por fin regresó a casa, esto a pesar del susto por las inclemencias del tiempo, aunque la experiencia les hará recordar este memorable viaje; tanto fue su amor por Cancún, que Jammes Davis, durante la documentación de su equipaje y su llegada, paseó por los pasillos del Aeropuerto Internacional de Cancún con un sombrero típico de charro que compró en un mercado.

Para Jammes, seis días fueron pocos para recorrer los paisajes que ofrece el destino turístico, y que mejor que en compañía de su esposa: “Me encantó este lugar que hasta con lluvia es bonito”, dijo el visitante mientras paseaba por los pasillos del Aeropuerto Internacional de Cancún con su sombrero; destacó que la gente, la comida y las playas fueron los mejor, ya que se siente el afecto de las personas y el cariño que le ponen en las atenciones.

“Queremos regresar pronto, hay tanto que ver y hacer en Cancún para la próxima vez, también queremos explorar más de la Península de Yucatán.”

La pareja se dirigió hacia la puerta de embarque, listos para regresar a casa con recuerdos inolvidables de su aventura y la mayor parte del tiempo en la fila, Jammes se mantuvo con su nuevo sombrero en la cabeza, ya que dijo era de las cosas más bonitas para recordar.

En cuanto su experiencia con un fenómeno meteorológico como Helene, dijo que al principio lo tomaron con calma, ya que los empleados del hotel donde se hospedaron, les dijeron que sólo iba a llover mucho, por lo que se sintieron seguros, pero durante la madrugada del miércoles, el sonido del mar los despertó y ya no pudieron continuar durmiendo, ya que las olas eran muy grandes y se

notaba la fuerza del viento por las palmeras que se encontraban alrededor de la playa.

Ellos pensaron que sólo iba a durar un par de horas, sin embargo pasó mucho tiempo hasta que amaneció y la lluvia se intensifico,

así que comenzaron a preguntar de nuevo si todo estaba bien, el personal del hotel les dijo que en efecto todo estaba en orden, pero que los iban asignar a otra área del inmueble por seguridad.

Pero cerca del medio día los

dejaron regresar a sus habitaciones, sólo que ya no pudieron disfrutar de la playa y de la zona de albercas, por lo que decidieron

por lo que no estuvo tan mal el día. Esta pareja tendrá muchas historias que contarles a sus amigos y familia, ya que la experiencia de pasar un huracán en Cancún, muy

(Angélica Gutiérrez)

Jammes se paseó orgulloso por todos los pasillos del AIC con su sombrero de charro, souvenir de este viaje. (Fotos Mario Hernández)

Precios 26 de septiembre

Anulan y demoran vuelos

Persisten las afectaciones en el AIC a causa del paso de Helene por el estado

Entre los destinos afectados predominaron los de ciudades de del país Ciudad Juárez, Monterrey, Tijuana, Cozumel, Chetumal y Guadalajara.

CANCÚN.- Aún no se logran restablecer las actividades normales en el Aeropuerto Internacional de Cancún (AIC) luego del paso del Huracán Helene por costas de Quintana Roo, desde las primeras horas del pasado miércoles, por lo que hasta el último corte de ayer del Grupo Aeroportuario del Sureste (Asur) contabilizó 31 demoras, 17 llegadas y 14 salidas, además cuatro cancelaciones dos despegues y dos aterrizajes.

El número total de vuelos registrados fue de 423, de los que 212 correspondieron a llegadas, 96 nacionales y 116 internacionales, en tanto que hubo 211 salidas; 95 al interior de la República y 116 hacia el extranjero.

Los destinos que presentaron afectaciones fueron: La Habana, Washington, Chicago-O’Hare, Detroit, Boston, Atlanta, Newark, San Francisco, Los Ángeles, Seattle, Tampa, Dallas, Fiumicino y Frankfurt, mientras que entre los nacionales estuvieron Villaher- De acuerdo con las autoridades aeroportuarias no están suspendidas las labores; sin embargo, son las aerolíneas las que deciden las cancelaciones o en este caso por tema de tráfico aéreo las demoras; se espera que en el transcurso de las horas la actividad se normalice y continúen dando el servicio en tiempo y forma.

actividades normales y aseguraron que hubieran preferido que les avisaran con antelación para hacer otra planeación al respecto; sin embargo, entre lo malo, lo bueno es que se evitaron afectaciones más graves, así que varios esperaron muchas horas para abordar el avión con rumbo a su destino.

A pesar de que las cancelaciones y demoras se fueron a consecuencia de un fenómeno meteoro-

Aunque el caos se apoderó por dos días del recinto aéreo, se dio a conocer que los daños fueron de menor impacto respecto a los reque llegó a costas quintanarroenses en una fecha donde el número de visitantes era mayor, por lo que ahora se tuvo un mejor control para normalizar la situación lo más pronto posible, por lo que esperan que este día transcurra sin pormenores, o por lo menos no a consecuencia de las condiciones climatológicas. Durante estos dos días las operaciones programadas fueron de alrededor de 400, una cantidad promedio propia de la temporada baja en el destino. (Angélica Gutiérrez)

Policía

Cancún, Q. Roo, viernes 27 de septiembre del 2024

Macabro

Vecinos de la colonia El Sheriff reportaron el hallazgo del cuerpo de un hombre sin vida envuelto en una hamaca; se cree que el occiso fue asesinado con un arma de fuego

El cadáver se encontraba en un tramo de terracería; autoridades se presentaron al lugar de los hechos para acordonar la zona y realizar los trámites correspondientes. (POR ESTO!)

Hallan a persona estrangulada, en Paseos del Mar

Indagan posible extorsión en caso del ejecutado del Arco Vial

Dan sentencia de 9 años a dos ladrones por robo en una fiesta, en el 2021

 Página 23

Encuentran un hombre estrangulado

Se confirmó que la víctima fue estrangulada con un cable, perdiendo la vida por asfixia y golpes

CANCÚN.- Con huellas de estrangulamiento fue encontrado el cuerpo de un hombre, en un área verde de la Supermanzana 251, lo que activó los protocolos de los policías municipales y estatales quienes se entrevistaron con vecinos de la zona, y fueron éstos los que guiaron a las autoridades hasta el sitio del hallazgo.

Diversas llamadas al número de emergencias 911 alertaron al personal del Complejo de Seguridad C5, ayer a eso de las 8:00 de la mañana, sobre la localización del cuerpo de un hombre, en un área verde sobre la avenida Galaxias del Sol con calle Isla Zanzíbar, manzana 103 del fraccionamiento Paseos del Mar, sitio que fue acordonado por los elementos de la Secretaría Municipal de Seguridad Ciudadana y Tránsito.

Al lugar también llegaron elementos de la Secretaría de Seguridad Ciudadana, Ejército Mexicano y Guardia Nacional, quienes recabaron información sobre este hecho, mencionando extraoficialmente que se trataba de un hombre de entre 30 a 35 años, de complexión delgada, tez morena, con un short deportivo color negro, sin playera, y se encontraba cubierto con una sábana color blanca.

Un cable fue el instrumento para el homicidio

Más tarde, cuando los peritos forenses y policías de investigación de la Fiscalía General del Estado arribaron al lugar, iniciaron el procesamiento de la escena, fue entonces que se confirmó que la víctima fue estrangulada con un cable, perdiendo la vida por asfixia, además presentaba diversos golpes en el cuerpo, principalmente en la cara, en este hecho no se apreció lesiones causadas con arma blanca o de fuego.

Durante la diligencia se encontró otros dos pedazos de cables con manchas de sangre, también se marcó como indicio la sábana blanca con la que taparon el cuerpo; trascendió que el cuerpo era de tez moreno claro, cabello corto, de aproximadamente 1.60 metros de estatura, de entre 30 a 35 años y vestía solo un short deportivo. En el proceso se confirmó que el hombre tenía diversos tatuajes, uno en la espalda con la leyenda “Perdóname madre por mi”, en la espalda media una imagen de la Virgen de Guadalupe; en el brazo derecho la leyenda “loca”, en el izquierdo uno en forma de cartas y dados; mientras que en el pecho la leyenda “Molina y Mongos”, con estas señas las autoridades esperan que los familiares lo identifiquen. Los peritos de la Fiscalía General del Estado se encargaron de trasladar el cuerpo a las instalaciones del Servicio Médico Forense, donde se le realizará la necropsia de ley y permanecerá hasta que sea reclamado por sus familiares.

(Leonardo Chacón)

Detienen a tres con drogas, en Cozumel

Dos de los capturados son menores de edad, la otra mujer portaba un arma de fuego

COZUMEL.- La Fiscalía

General del Estado informó que, en dos acciones por separado, detuvo en calles de este municipio a tres personas, dos de estas menores de edad, lo anterior por su presunta relación en hechos probablemente constitutivos de delitos contra la salud en su modalidad de narcomenudeo.

Una de las personas detenidas es Liset Berenice “N”, quien es señala por su probable participación en delitos contra la salud y portación de arma de fuego. Al momento de su captura, se le encontró un cargador abastecido con ocho cartuchos útiles, además de diversas dosis de hierba verde y seca con las características posiblemente de marihuana, así como de fragmentos cristalinos parecidos a la droga conoci-

da comúnmente como cristal

Adolescentes actuaban de halcones

En cuanto a los dos menores,

uno del sexo masculino y una femenina, fueron capturados cuando circulaban a bordo de una motocicleta; según la investigación, habrían sido enviados por un presunto integrante de un

grupo criminal a hacer videos de una casa de seguridad.

Los detenidos, así como las evidencias aseguradas, quedaron a disposición del MP (Redacción POR ESTO)

A Paseos del Mar llegaron elementos de la Secretaría de Seguridad Ciudadana, Ejército Mexicano y Guardia Nacional. (Leonardo Chacón)
LISET “N”

Hallan un cadáver en El Sheriff

Colonos

encontraron un cuerpo envuelto con una hamaca; se cree que fue matado con arma de fuego

CANCÚN.- Un macabro hallazgo hicieron vecinos de la colonia El Sheriff la mañana de ayer, cuando salieron de sus casas y descubrieron el cuerpo de un hombre envuelto con una hamaca; la víctima fue privada de la vida, al parecer, con arma de fuego y abandonada durante la madrugada.

Alrededor de las 7:30 horas, los habitantes de la Supermanzana 236, llamaron al número de emergencias 911 para reportar el hallazgo de un cuerpo, sobre un camino de terracería en la calle 142 a

unos 50 metros del Arco Vial; esto movilizó a los elementos de la Secretaría Municipal de Seguridad Ciudadana y Tránsito (SMSCyT), quienes confirmaron los hechos, solicitando la intervención de la Fiscalía General del Estado. Luego de corroborar que se trataba del cuerpo de un hombre, el área fue acordonada por las autoridades municipales. Asimismo, la Policía Estatal y elementos del Ejército Mexicano arribaron al lugar para sumarse a la seguridad perimetral, mientras se esperaba

la intervención de los forenses y policías de investigación.

Poco después de las 8:00 horas, las autoridades forenses iniciaron la diligencia para levantar el cuerpo, fue entonces que se mencionó que la víctima estaba enrollada con una hamaca de varios colores, además el cuerpo lo dejaron dentro de unas bolsas de plástico, se trató de un hombre de unos 20 años, de complexión media y tez morena.

Se mencionó que se observaron diversas lesiones al parecer causa-

Sentencian a nueve años de cárcel por robo a dos sujetos

CANCÚN.- Dos hombres señalados por sus víctimas a quienes en medio de una fiesta despojaron de sus pertenencias, finalmente fueron sentenciados a nueve años de prisión, ambos permanecen en el Centro de Reinserción Social (Cereso) y deberán pagar multas a una de ellas para solventar las sesiones psicológicas que una de las víctimas, debido al trauma, tuvo que tomar. Fue a través de una audiencia de Juicio Oral, donde un juez impuso la sentencia condenatoria en contra de Juan José y Emmanuel, quienes, en el mes de abril del año 2021, irrumpieron una fiesta misma que se estaba celebrando al interior de un domicilio ubicado en el fraccionamiento Vista Hermosa , donde amagaron con

un arma de fuego al anfitrión. De acuerdo con los datos proporcionados por la Fiscalía General del Estado ( FGE ), Juan José portaba el arma de fuego con la que encañonó a una de las personas, para presionar a los invitados a entregar sus pertenencias y que nadie pusiera resistencia ya que accionaría la pistola. Por su parte, Emmanuel fue despojando de sus pertenencias a los presentes, mientras una tercera persona permanecía en el exterior del domicilio vigilando que no llegaran autoridades. Aparatos electrónicos, teléfonos móviles de diversas marcas, dinero en efectivo y un vehículo, fue el botín que los delincuentes se llevaron, en ese momento las

víctimas solicitaron el apoyo de las autoridades. Fueron ministeriales quienes se encargaron de tomar las declaraciones e iniciar con una carpeta de investigación, posteriormente dos de los tres delincuentes fueron detenidos e iniciaron un proceso penal. Ayer finalmente una juez de Juicio Oral dictó sentencia condenatoria con nueve años de prisión en contra de Juan José “N” y Emmanuel “N” por el delito de robo, a quienes además impuso una sanción económica por 99 mil 433 pesos destinada a la reparación del daño a favor de las víctimas, así también deberán pagar 9 mil pesos por las sesiones psicológicas que requirió una de las personas agraviadas.

das con arma blanca, en espalda baja, tórax y cuello, también tenía hematomas en todo el cuerpo, posiblemente por tortura. Cuando se concluyó el procesamiento de la escena, la víctima fue trasladada a las instalaciones del Servicio Médico Forense para la necropsia de ley, en calidad de desconocido.

Las autoridades revelaron extraoficialmente que el joven vestía una playera blanca con una sudadera negra con la leyenda “Puma”, así como un pantalón y un cinturón negro. Aunque no se obtuvo

mayores detalles sobre las características físicas de la víctima o señas particulares, por lo que se espera que en las próximas horas sus familiares acudan a la Fiscalía para las diligencias de identificación. Los agentes ministeriales se entrevistaron con los vecinos de la zona, quienes mencionaron que al parecer fue durante la madrugada que abandonaron el cuerpo, pues se escuchó el ruido de un auto, aunque no dieron mayores referencias del vehículo.

(Leonardo Chacón)

(Emiliana Sánchez)

Vecinos de la Supermanzana 236 llamaron a emergencias para reportar a un hombre sin vida en un tramo de terracería; autoridades (POR ESTO!)
Los criminales asaltaron a personas en una

Según las autoridades, el ahora occiso tenía un negocio de venta de antojitos y fritangas, por lo que no pagar el “derecho de piso” causó que lo acribillaran. (POR ESTO!)

Extorsión, móvil de hombre ejecutado

La víctima iba a entregar un pedido de comida cuando fue sorprendido en el Arco Vial, en la Sm 106

CANCÚN.- Por presunto cobro de “derecho de piso” fue ejecutado a balazos un hombre, la noche del pasado miércoles sobre el Arco Vial, cuando se dirigía a entregar un pedido de empanadas; los sicarios lograron escapar en un vehículo al parecer hacia la avenida José López Portillo.

Fuentes de la Policía Ministerial revelaron que la posible línea de investigación tras la ejecución de un hombre en la Supermanzana 106, sería por extorsión ya que se obtuvo información que indicaba que la víctima tenía un negocio

de venta de antojitos y fritangas, pues al momento del ataque estaba llevando un pedido de empanadas.

Según la información preliminar, la víctima conducía un auto Nissan March color blanco, pero al salir de la colonia irregular El Milagro ya lo seguían sujetos a bordo de otro vehículo, el joven sin darse cuenta avanzó hacia el Arco Vial cuando fue atacado frente al templo de los mormones, a unos metros de la avenida José López Portillo. Los responsables del ataque supuestamente retornaron hacia la Portillo para darse a la fuga, según

Conductor pierde el control de su camioneta y vuelca

CANCÚN.- Una curva sobre la avenida prolongación Chac Mool, para salir al boulevard Luis Donaldo Colosio, se ha vuelto peligrosa para los conductores, ya que constantemente se han visto involucrados en accidentes viales en la misma zona; al menos 12 hechos a lo largo del mes se han registrado; sin embargo, las autoridades aseguran es la falta de precaución de los protagonistas.

Ayer por la tarde, alrededor de las 17:00 horas, un hombre perdió el control y volcó con su camioneta sobre la avenida Prolongación Chac Mool a la altura de la Supermanzana 306, de acuerdo con los datos proporcionados por la Secretaría Municipal de Seguridad Ciudadana y Tránsito (SMSCyT), el accidente se suscito debido a que la unidad era conducida a exceso de velocidad, lo que generó que la

unidad terminara sobre Luego que una de las llantas de la camioneta Mitsubishi, de color blanco golpeara la guarnición de la banqueta, la unidad subió a la misma donde terminó volcada sobre su costado derecho, debido a que el conductor llevaba puesto el cinturón de seguridad resultó ileso; sin embargo, la carrocería de su unidad quedó averiada.

Conductores que circulaban a unos metros ayudaron a la persona salir de la camioneta volcada y dieron aviso al número de emergencias 911, por lo que al lugar llegó al auxilio una unidad médica y elementos de la Dirección de Tránsito, por lo que la persona fue valorada, poro no hubo necesidad de ser trasladada a un hospital, por lo cual los uniformados procedieron conforme a la ley.

algunos testigos éstos regresaron a la colonia El Milagro , aunque hasta el cierre de esta edición no se habían dado más detalles del vehículo que conducían y en el que lograron escapar.

La víctima mientras tanto condujo su auto hasta llegar a la Supermanzana 106, frente a la subestación de la Comisión Federal de Electricidad (CFE) y fue ahí donde se desmayó ya que recibió por lo menos tres impactos de bala, en el tórax y cuello, minutos después paramédicos de la Benemérita Cruz Roja confirmaron que ya no

tenía signos vitales. Por su parte, los policías municipales acordonaron el área para personal de Servicios Periciales y policías de investigación llevaran a cabo sus diligencias; fueron estas autoridades las que se encargaron de levantar el cuerpo para su traslado a las instalaciones del Servicio Médico Forense; la víctima de identidad reservada fue reconocida por sus familiares, quienes estaban en el proceso para reclamarlo.

Las investigaciones de las autoridades revelaron que el joven estaba siendo víctima de extorsión,

pues se dedicaba a la venta de alimentos, al parecer recientemente fue amenazado por sujetos armados, obligándolo a pagar una cuota mensual, pero al no poder hacer ese pago fue atacado a balazos. En este sentido, las autoridades indicaron que no se descartarán otras posibles líneas de investigación, pues podrían surgir más datos conforme se avance en el tema, además ya se inició el trámite para solicitar los videos de las cámaras de seguridad tanto del C5 como de comercios de la zona.

(Leonardo Chacón)

(Emiliana Sánchez)

La curva de la prolongación Chan Mool ha generado al

Municipios

Negligencia

Protección Civil Municipal admitió el desborde de la Salina Grande al no rehabilitar a tiempo un generador eléctrico y disponer de otro para poner a trabajar dos bombas de achique

Colonos acusaron a varios a operadores de vehículos oficiales de cruzar sin consideración la calle Punta Arena, generando olas que ingresaban a sus viviendas. (Ovidio

Enfrentan restauranteros crisis; Helene mermó la demanda en Solidaridad

CAPA deja sin agua a Holbox para reparar fuga en la tubería submarina

Animales de monte arrasan con siembras del ejido Kilómetro Cincuenta

López)
 Página 30

Solidaridad

Pescadores evitan daños en lanchas

El resguardo a tiempo ayudó para que permanecieran intactas durante el paso del Huracán Helene

PLAYA DEL CARMEN.-

Afortunadamente, las lanchas que se resguardaron en la orilla de la playa no tuvieron daños significativos tras el paso del Huracán Helene, categoría 1. A pesar de las preocupaciones iniciales, el fenómeno meteorológico no trajo consigo las intensas precipitaciones que se habían anticipado, lo que permitió que las embarcaciones permanecieran en buen estado.

José Gómez Burgos, secretario de la cooperativa pesquera Xaman Ha, informó que la Capitanía de Puerto decidió cerrar el acceso al puerto durante la mañana para las embarcaciones menores. Sin embargo, se esperaba que la normalización de las operaciones se diera a lo largo de ayer, después de tres días de restricción.

En entrevista, Gómez Burgos destacó la prudencia de los pescadores, quienes mantuvieron un monitoreo constante de la información oficial hasta el último momento. Esta vigilancia les permitió determinar si era necesario retirar las lanchas o dejarlas en el agua. En esta ocasión, optaron por resguardarlas, evitando un considerable gasto de aproximadamente 50 mil pesos en el traslado por grúa para la cooperativa.

La evaluación minuciosa realizada por los lancheros de “El Recodo” no sólo les permitió evitar costos adicionales y posibles pérdidas, sino que también evidenció su capacidad de adaptación ante situaciones adversas. Su enfoque en la seguridad y el bienestar de sus operaciones refleja un compromiso firme con la preservación de su actividad económica.

Con la calma regresando a Playa del Carmen, se espera que las operaciones pesqueras se reanuden pronto, contribuyendo al restablecimiento de la actividad turística y económica en la zona. (Angela Miranda)

Trabajadores están a la espera de que las autoridades marítimas reabran el puerto a la navegación menor para salir a laborar.

Zitácuaro “pagará los platos rotos”

PLAYA DEL CARMEN.- Luego de unos días de entrenamientos en el que se tomaron el tiempo para corregir errores tácticos a fin de retomar la senda del triunfo, el Inter Playa del Carmen se reportó listo para recibir hoy al Club Deportivo de Futbol Zitácuaro, en la actividad de la fecha 4 del Torneo Apertura 2024 de la Serie A de la Liga Premier.

El equipo dirigido por el profesor argentino Nicolás Burtovoy, inició la semana herido en el orgullo tras perder el “clásico quintanarroense” por lo que no piensa en otra cosa más que retomar la senda del triunfo en el putarse a las 17:00 horas en la cancha de la Unidad Deportiva

las inclemencias climatológicas que han provocado problemas en el sistema del alumbrado. En ese sentido, el club pidió a los fanáticos y sus seguidores estar pendientes del cambio de hora del juego.

Los dirigidos por Nicolás Burtovoy le dieron la vuelta a la página después de la derrota en Cancún, realizando labor social al visitar a las niñas y niños del Hospital General de la localidad, además de

grama Fomento a la Lectura.

El conjunto playense marcha en el subliderato del Grupo 3 y en la séptima plaza de la tabla general con seis unidades producto de dos victorias y una derrota que fue justamente ante los Pioneros. El conjunto michoacano, que se encuentra bajo el mando del profesor Mario Trejo, llega a Quintana Roo luego de vencer por la mínima diferencia a Faraones de Texcoco

El Club Deportivo se ubica en el novelo lugar del mismo sector, pero es vigésimo de la tabla general con cuatro unidades.

Los equipos en cuestión se encargarán de levantar el telón de la actividad en la fecha 4 cuando se midan en un compromiso que luce disparejo en el papel, por la mejor posición del Inter Playa en la clasificación, pero que se espera ofrezca intenso por el nivel de juego. (Redacción POR ESTO!)

errores. Queremos regalarle otra victoria a nuestra afición ante nador”, indicó el director técnico

A partir de la cuarta jornada, gará en su nuevo horario luego de nicado de prensa publicado en el portal de la Liga Premier, en el que

La misiva precisa que este movimiento en el horario se deriva a

Restauranteros reportan crisis

La baja actividad en centros de consumo los obliga a bajar cortinas o a recurrir a los despidos de personal

PLAYA DEL CARMEN.- La temporada baja que vive todo Quintana Roo ha afectado principalmente al ramo hotelero; sin embargo, el sector restaurantero también se encuentra enfrentando una fuerte crisis, toda vez que en las recientes fechas los ingresos han estado por debajo de lo esperado, sumado al reciente paso del Huracán Helene que terminó por mermar el consumo de los visitantes, esto, según lo señalado por un gerente de un establecimiento de la Quinta Avenida , identificado como César Navarro Medina.

Ante la crisis económica que enfrenta el sector, Navarro Medina manifestó que algunos establecimientos se las ven difíciles el mantener las cortinas arriba, pues, aunque están operando con el mínimo de personal, algunos

consideran recurrir a los despidos, toda vez que el margen de las ganancias no es el requerido. La creciente preocupación sobre si seguir en funcionamiento o no se debe a la falta de ingresos que logren una estabilidad entre las ganancias, los pagos, los productos y demás. Esto, sumado a una ausencia de plan de contingencia instaurado por parte de las autoridades relacionadas con el sector turístico, pues, según el gerente en cuestión, el destino de Playa del Carmen fue hecho a un lado en cuanto a las campañas de promoción turística, lo que terminó por perjudicar la imagen.

Añadió que el destino ha sido ignorado dentro de la publicidad turística, cosa que antes no se hacía, por lo que no se sienten representados en ningún lugar, lo que les ha restado visibilidad

ante el extranjero, incluso, a nivel nacional.

Finalmente, los restaurantes hacen un llamado urgente a las autoridades, con la fi nalidad de que se pongan en práctica los incentivos fi scales para inyectar apoyos en las empresas que están atravesando esta crisis, para no verse en la necesidad de cerrar sus puertas, generando pérdidas de empleos.

De igual forma, se reafirma la crítica hacia el Gobierno municipal saliente, ya que, durante estos tres años, se permitió que la zona de la Quinta Avenida se vea saturada de vendedores ambulantes, impactando negativamente en los negocios establecidos, pues les restan ventas, lo que termina de mermar sus ganancias, pese a que pagan salarios y permisos.

(Redacción POR ESTO!)

Empresarios se quejan de que el destino no ha sido incluido en la publicidad turística. Culpan a la administración saliente de saturar el paseo principal de Playa del Carmen.
El paso de Helene terminó con las esperanzas. (Fotos POR ESTO!)

Se registró accidente en El Pedregal

El conductor de uno de los automóviles se pasó el alto obligatorio y se impactó contra otra unidad

PLAYA DEL CARMEN.- Una persona lesionada y varios miles de pesos en daños materiales fue el saldo de un aparatoso accidente registrado entre dos autos compactos en uno de los cruces de la colonia El Pedregal de esta ciudad.

Los hechos ocurrieron alrededor de las dos de la tarde en el cruce de las calles 60 y 38, en donde debido a las lesiones de uno de los conductores, arribaron paramédicos de una empresa particular, así como elementos del cuerpo de bomberos, estos, por si acaso.

Uno de los testigos del percance refirió que el conductor del automóvil Aveo, argentino de nacimiento, al parecer se pasó el disco de alto de la calle y provocó que fuera impactado por el vehículo marca Volkswagen Golf.

La mujer que iba a bordo del vehículo de la marca Chevrolet resultó con varias lesiones, aunque sin consideración, por lo que fue necesaria su atención en el lugar para descartar cualquier situación que la pusiera en peligro.

Los paramédicos valoraron a los tripulantes de los dos vehículos involucrados en el accidente, sin embargo, solo fue necesario trasladar a la mujer a un nosocomio para su mejor valoración y atención médica.

Sólo una mujer tuvo que ser trasladada por paramédicos para su valoración en el nosocomio

por loa que se hace un llamado a transito para que coloquen más señaléticas, topes o semáforos y así se podría evitar daños cuantioso o incluso una tragedia.

(Redacción POR ESTO!)

Moto chocó con una pipa, no le avisaron del cambio de sentido

contraba estacionada frente al cárcamo de la ciudad. Este tramo de la vía, que anteriormente permitía la circulación en ambos sentidos, ha sido recientemente modificado para ser de un sólo sentido.

De acuerdo con testimonios de personas presentes en el lugar, el motociclista parece no haber tomado en cuenta esta nueva regulación, lo que lo llevó a maniobrar como si aún estuviera en una vía de doble circulación, chocando de lleno contra el vehículo de carga.

Afortunadamente, la pipa se encontraba detenida en ese momento, realizando una carga de agua de rutina, lo que evitó un desenlace más grave para el conductor.

Los servicios de emergencia y autoridades locales llegaron rápidamente al lugar del accidente para

una investigación para determinar si otros factores pudieron haber influido en este accidente. Por el momento, no se ha brin-

dad de las lesiones del motociclista, aunque se espera que reciba la atención médica necesaria. Este incidente resalta la importancia de la adaptabilidad a las regulaciones viales cambiantes y la responsabilidad de todos los conductores.

(Redacción POR ESTO)

El frente del Volkswagen Golf quedó prácticamente destrozado y con daños mayores en el motor y en dos de las llantas.

Isla Mujeres

Vierten aguas negras en Playa Norte

Prestadores de servicios turísticos denunciaron que Aguakan bombeó residuos por dos horas

Antonio Santos y Eduardo Cutiz, directivos de negocios en esa vialidad y en la calle Carlos Lazo, solicitaron a la Comisión de Agua Potable y Alcantarillado ( CAPA ) y al gobierno municipal actuar con rigor en contra de Aguakan por no cumplir con su promesa de evitar la contaminación de Playa Norte , aun cuando ya opera el cárcamo que iba resolver el problema ahora.

Podrían vetar a la ínsula como destino seguro

“Estamos corriendo un gran riesgo de que el turismo sea afectado, y se vete a Isla Mujeres como destino seguro para el nado en su principal playa de uso masivo, y es uno de los 25 balnearios más famoso del mundo”, advir-

tieron al evaluar la actuación del consorcio, cuyos directivos no tienen conciencia de la educación o de conservación ambiental”. En cuanto a la frecuencia de derrames, sin embargo, ya es mucho menor que antes del 2023, cuando en todo ese año Aguakan fue obligado a contratar una pipa para extraer hasta tres veces agua

residual a diario, a fi n de evitar esta sitaciones, “sin embargo, se salía de control cuando llueva poco y luego nos echan a la culpa a nosotros”, dijo Alexander Vallejos Barbudo, al mostrar parte del dialogo que tenia con el ayuntamiento y la concesionaria, las veces que se presentaban derrames desde el año del 2019 y

hasta la fecha. Personalmente, este jueves le informó de este problema al director de Turismo, José Castillo Magaña, quien visitó el sitio, y le solicitó su intervención inmediata. Menos de 10 minutos después, dejó de salir agua residual en el último registro de la red. (Ovidio López)

El derrame comenzó alrededor de las diez de la mañana cuando comerciantes de la zona se dieron cuenta de la fuga. (Fotos Ovidio López)

Negligencia causa desborde lagunar

Personal

de Protección Civil y Bomberos admitieron que no se rehabilitó un

ISLA MUJERES.– Por una presunta negligencia de la Dirección de Protección Civil se desbordó la Salina Grande al no rehabilitar a tiempo un generador eléctrico y disponer de otro para echar a andar las dos bombas de achique capaz de evitar la inundación que afectó varias colonias, según salió a relucir durante la evaluación del corte de la CFE durante 14 horas en plena contingencia por afectación de su red.

“Aquí hubo negligencia por el desborde del cuerpo lagunar”, reconocieron varios elementos de la

dependencia y de Bomberos, pero solicitaron reservar sus nombres por temor a represalias; confirmaron que está en abandono un generador eléctrico que no se mandó a reparar a tiempo o no se adquirió tampoco otro para enfrentar este fenómeno de la naturaleza.

En tanto, todavía tiene efectos del Huracán Helene este jueves cuando llovió por algunos minutos en la tarde, y ya estaba por descargar al mar 13 mil 824 metros cúbicos de agua de lluvia en las primeras 24 horas y había descendido 10 centímetros de ni-

vel, esperando llegar a 41 mil 472 M3 a las 19:00 horas del sábado cuando cumpla 72 horas y bajar 20 centímetros más.

En cuanto a la Salina Chica, ya había descendido 15 centímetros por la tarde y el sábado llegaría los 50 cm en su descenso y se pararía la maquinaria entonces, estima la autoridad, esto si no hay mas precipitación, a diferencia de la Salina Grande que será más lento por su dimensión tan extensa.

“Como van las cosas, no esperamos que baje los 50 centímetros necesarios de la Salina Grande el

Después del paso de Helene se reactivó la actividad turística

ISLA MUJERES.– Se reactivó el turismo con poco movimiento este jueves al reanudar el servicio de transporte marítimo de pasaje de Puerto Juárez, Zona Hotelera de Cancún y Punta Sam, la mayoría de los clubes de playa no tuvieron actividad, pero confirmaron tener reservaciones en promedio del 20 por ciento en su mayoría para este fin de semana. También salieron visitantes que se vararon el miércoles y el promedio de ocupación de los navíos era del 30 por ciento durante el día, pero para hoy se espera mejorar la afluencia y subir al 50 por ciento el sábado y domingo, si no hay inconvenientes, pues el Centro Nacional de Huracanes informó que hay otra baja presión en el mismo sitio donde se formó Helene con probabilidad de evolucionar del 20 por ciento en siete días.

En tanto, de ya Centro ya fue retirada la basura que movió del fondo marino el huracán que avanzaba rumbo a la Florida, con la participación del personal de la Zona Federal Marítimo Terrestre ( dos de negocios que comenzaron a abrir sus puertas para atender a los clientes de nuevo.

Hubo una perdida estimada del 30 por ciento, unos 11 mil metros cuadrados, de la superficie total de la superficie de estimación de la ción Civil; el reconocido fotógrafo de bodas de parejas extranjeras, Jim Guy, compartió un video desde las alturas, del mayor deterioro que vio en las desembocaduras de las calles Zazil-ha, Guerrero, Hidalgo y malecón Rueda Medina. Según se pudo constatar, el mayor daño lo experimentó el holo antes posible. (Ovidio López)

domingo”, anticipó el equipo de revisión de las bombas, en circunstancia en que los vecinos que se inundaron sus casas, alrededor de 50 viviendas, se dañaron sus muebles y continuarán bajo el agua hasta el sábado, en la mayoría de los casos, según estimación. Entre los afectados aparecen las familias Escalante, Santos, Tep, Caamal, entre otras, en la colonia Salina Grande , en donde hubo mas daños. A menor medida se dio en los sectores Salina Chica, Meteorológica y La Gloria; por tener familiares y amigos, fueron a parar

generador eléctrico

en sus casas durante la madrugada del miércoles, no sin antes asegurar sus casas y subir en las partes altas varios artículos domésticos. Sin embargo, la familia Escalante acusó a funcionarios municipales de no estar consciente de la situación, pues varios operadores de vehículos oficiales cruzaban sin consideración en la calle Punta Arena, entonces las fuertes olas que causaban por avanzar a velocidad ingresaron en casas que no se había inundado y en negocios con puertas de madera. (Ovidio López)

Fue en calles de la colonia
Pocos visitantes cruzaron ayer con un poco de lluvia. (Ovidio López)

Cozumel

Cancela su llegada el Icon of the Seas

Uno de los cruceros más grandes del mundo tuvo un fallo y no arribará a la ínsula en esta semana

COZUMEL.- El Icon of the Seas, considerado el crucero más grande del mundo, se ha visto obligado a cancelar su viaje programado para el 28 de septiembre debido a problemas en su sistema de propulsión. Este incidente es inesperado, especialmente para un barco que lleva menos de un año en operación. Durante su reciente travesía, la embarcación no pudo mantener su velocidad habitual, lo que llevó a la decisión de someterla a una revisión técnica detallada para garantizar su correcto funcionamiento antes de reanudar sus itinerarios por los océanos. El viaje cancelado incluía un recorrido por el Caribe occidental, con paradas en destinos muy demandados como Roatán, Costa Maya, Cozumel, y la isla priva-

Miami, Florida. Para mitigar las molestias a los pasajeros, Royal Caribbean ha ofrecido un reembolso completo utilizando el mismo método de pago, además de un crédito adicional para que los viajeros puedan reservar un futuro crucero de igual valor.

El Icon of the Seas, que tiene una capacidad de 5,610 pasajeros y 2,350 tripulantes, es una de las embarcaciones más avanzadas y de mayor tamaño en la industria de los cruceros. Según lo informado, a pesar de este contratiempo, el barco ha operado sin mayores problemas desde su lanzamiento. Por otro lado, en agosto de este año, Royal Caribbean firmó un acuerdo con el astillero finlandés Meyer Turku para construir dos nuevos barcos de la clase Icon

(POR ESTO!)

Persecución policiaca termina con un herido

COZUMEL.- Un ataque armado tuvo lugar en la avenida 80, entre las calles 2 y Juárez, dentro de la colonia Emiliano Zapata, donde se ha registrado un incidente armado que dejó a una persona herida por disparos. El hecho ha causado conmoción entre los vecinos de la zona, quienes fueron testigos de la intensa movilización.

Los hechos se registraron cuando una camioneta blanca, presuntamente perteneciente a la Policía Ministerial, comenzó a seguir a dos sujetos que circulaban en una motocicleta tipo cross. En medio de la persecución, se habrían escuchado varias detonaciones, lo que resultó en una persona herida de bala. La víctima fue atendida por los cuerpos de emergencia en el lugar, siendo posteriormente trasladada a un hospital cercano para recibir atención médica de urgencia debido a las heridas.

El enfrentamiento sigue siendo

investigado. Las primeras versiones también indican que la persecución pudo haber iniciado tras un operativo en la zona, aunque las autoridades no han emitido una postura oficial del caso. El lugar donde ocurrió el ataque fue acordonado por elementos de la policía, y en estos momentos, personal de la Fiscalía General del Estado ( FGE ) se encuentra realizando las diligencias correspondientes. Los peritos se han encargado de recabar evidencias en la escena, mientras los agentes investigan las posibles motivaciones detrás de este incidente, que ha dejado a la comunidad isleña en un constante estado de alerta. Vecinos han mencionado que los disparos causaron pánico en la zona, obligando a muchas personas a refugiarse en sus casas para evitar verse involucradas en la balacera y en asuntos policiales. (Angela Miranda)

Beca: experiencia para el mañana

El programa federal “Jóvenes Construyendo el Futuro” ha dejado muchos beneficios en el estado

CANCÚN.- La Cámara de Diputados aprobó la iniciativa de reforma “Jóvenes Construyendo el Futuro” y con ello elevaron a rango constitucional dicho programa social, que ahora está en análisis del Senado de la República y en caso de ser aprobada, el estado otorgará un apoyo económico mensual equivalente, al menos, a un salario mínimo a jóvenes de entre 18 y 29 años que se encuentren sin trabajo y no estén estudiando. La beca mensual es de 7 mil 572 pesos mexicanos, a partir del 2024, destacando que el monto se calcula con base en el salario mínimo. Además, del pago, los beneficiarios cuentan con seguro médico a través del Instituto Mexicano del Seguro Social (IMSS).

En Cancún hay un universo no menor a 3 mil inscritos en este programa, lo que les ha representado un gran beneficio, pues reciben capacitación para desarrollar sus habilidades hasta por 12 meses en diversos centros de trabajo que, a su vez, se benefician de su contribución. “Apenas me inscribí en el programa, estoy en espera de que me asignen a un lugar, pero la verdad me parece que es muy importante que el gobierno apoye a los jóvenes que tenemos ganas de seguir estudiando o un buen empleo y tener mejores oportunidades de vida”, dijo el joven Christian.

“Pues me parece una gran iniciativa, eso nos da la oportunidad a muchos jóvenes, que si por algún motivo ya no tenemos la posibilidad de seguir en la escuela, pues podemos inscribirnos y capacitarnos con alguna empresa afiliada”, dijo María Luisa.

En caso de ser aprobada en la Cámara de Senadores, esta reforma dará rango constitucional al Programa “Jóvenes Construyendo el Futuro”, el cual ha tenido resultados inéditos en la atención a las y los mexicanos, donde casi 3 millones han recibido capacitación para el trabajo durante este sexenio, con una inversión de 132 mil millones de pesos de capacitación para un empleo y según cifras de la Comisión Nacional de los Salarios Mínimos, seis de cada 10 se emplean

Tan sólo en Cancún, hay al menos tres mil personas inscritas, que reciben un apoyo económico de 7 mil 572 pesos. (Fotos: POR ESTO!)

Aprovechan la oportunidad en la capital

El proyecto surgió como una alternativa para impulsar a los jóvenes mexicanos que se encuentran en búsqueda de su primer empleo, o en una situación económica complicada que no les permite estudiar y tampoco tienen trabajo, con el fin de que tras la conclusión del periodo de 12 meses que dura el programa puedan ser contratados en la empresa donde trabajaron como becarios, o que la experiencia adquirida les sirva para encontrar un empleo.

Al respecto, Carlos Patiño, de 28 años, considera que ser becario de JCF fue muy útil para él, porque

nocimientos; además, de poner en práctica lo aprendido durante sus años de licenciatura. Sin embargo, en el caso de empresas que capacitan para el aprendizaje de oficios, la beca resulta igual de útil porque se adquieren conocimientos nuevos mientras se llevan a cabo.

También, resaltó la importancia de poder acceder a una oportunidad laboral de manera casi inmediata a salir de la universidad y percibir un sueldo fijo durante al menos un año, que, además, puede ser utilizado como inversión para la apertura de un negocio, implementando lo aprendido durante la capacitación.

Por otra parte, Jorge Correa, de

en que fue becario. Incluso, hizo hincapié en que les ofrece la posibilidad de vincularse a centros de capacitación más de una vez, en caso de que el joven no se adapte a la empresa o cualquier situación que pueda presentarse en el transcurso de los meses.

De igual forma, Michelle Sánchez, de 30 años, considera útil ingresar al programa para abrirse camino en el ámbito laboral, aunque en su caso no fue como un primer empleo, sino para generar experiencia laboral en empresas afines a sus estudios de licenciatura que le sirvieron al momento de postularse para otros puestos, como en el que se encuentra actualmente,

debido a que difícilmente habría riencia por su cuenta, al no contar con los contactos necesarios para ingresar a las instituciones donde estuvo en capacitación. Según la información recabada sobre las experiencias, los jóvenes de Chetumal han tenido diversas oportunidades derivadas del programa “Jóvenes Construyendo el Futuro”, que de una u otra forma obtuvieron herramientas para desarrollarse en el mundo laboral que ahora implementan en sus centros de trabajo.

Prefieren el aprendizaje En el municipio de Lázaro Cárdenas , el programa federal

enlistarse y comenzar con sus beneficios.

resulta benéfico, ya que se tienen pocas oportunidades de trabajo y para salir en busca de un empleo se requiere, por lo menos, un año de experiencia y estar capacitado para el puesto a solicitar, más que en lo económico, quienes quieren superarse valoran lo que se puede aprender y tener como experiencia, señalan beneficiarios.

Externaron que por la falta de recursos algunos ya no pueden continuar sus estudios después de concluir la educación media superior, pero por su inexperiencia las empresas no los contratan y la única posibilidad de empleo es el ayuntamiento, donde sólo se ingresa si se tiene “palanca” o se trabajó durante campaña, pero ahora que hay empresas inscritas en este programa, se abre un abanico de posibilidades para los jóvenes que quieren consolidarse en un empleo.

Al respecto, Yolanda Poot externó que, en su caso, está espiando que la plataforma se apertura entre octubre y enero, para poder

Mencionó que existen pocas posibilidades de trabajo, por lo general los jóvenes buscan emplearse en el ayuntamiento y terminan como auxiliares por carecer de la preparación académica, en cambio con este programa, reciben una capacitación de 12 meses, con una beca económica, pero más que el apoyo, la experiencia y capacitación significan mucho, para cuando quieran buscar otra labor, además de que pueden llegar a tener recomendaciones si demuestran un buen desempeño.

Ivana “N” sostuvo que el programa es bastante bueno, el apoyo que recibió la ayudó bastante económicamente; sin embargo, dijo que puede llegar a ser muy estricto, puesto que las supervisiones llegan en cualquier momento y no aceptan justificaciones, de manera inmediata dan de baja, no al beneficiario, sino a la empresa. Explicó que tuvo el programa por alrededor de seis meses, pero un día pidió permiso a la empresa donde trabaja para acudir a las

oficinas del Bienestar a solicitar un chip de la CFE que se otorgaba a los beneficiarios del programa para tener Internet gratuito por un año, demorando no más de 15 minutos, de modo que, al regresar, ya habían pasado los supervisores, que de forma inmediata dieron de baja a la empresa del programa, esto por no estar presente el beneficiario.

De esa manera perdió su apoyo, pero con la experiencia adquirida la empresa la contrató para seguir laborando, por lo que dijo que importa más la capacitación y la experiencia, que el mismo apoyo que se pueda tener durante ese proceso, ya que eso le está permitiendo mantenerse en su trabajo, afirmando que es un programa bueno, pero estricto, de modo que exhortó a los beneficiarios a cumplir siempre con sus horarios.

Azriel Pech sostuvo que de igual manera, está a la espera de que la plataforma abra en octubre, para enlistarse y trabajar en alguna de las empresas locales que es tén dentro del programa, porque ha recorrido lugares en busca de

empleo y no ha sido contratado, además de que con el cambio de administración municipal que se tendrá el lunes, no tiene posibilidades de ser incluido en el ayuntamiento al no haber participado

El apoyo que se recibe es bastante bueno, aunque no suficiente como el pago de un trabajo oficial, pero lo que se debe valorar más, es la experiencia que se gana y la recomendación que la empresa puede dar, cuando se busca otro empleo, ya que muchas empresas exigen conocimientos previos y recomendaciones, para contratar a las personas y eso solo se gana teniendo un trabajo y haciendo un

En la Zona Maya coincidieron en señalar que los jóvenes locales son beneficiados con este programa, al asegurar que se está garantizando por lo menos en un lapso de 12 meses un apoyo, donde puedan trabajar mediante una beca y en ese tiempo se consoliden como trabajadores en algún establecimiento que haya sido beneficiado

Al respecto, Alessandra O., de Felipe Carrillo Puerto, indicó que beneficia en mucho a los jóvenes, que por alguna forman no cuentan con algún trabajo o que estén estudiando, pero que exista la necesidad de acceder a un recurso, mientras se capacitan para un empleo.

Comentó que, por espacio de doce meses, estuvo recibiendo una beca de 6 mil 500 pesos de manera mensual y dos meses antes de que deje de ser beneficiada, después se incrementó hasta los 7 mil 500 pesos, lo que representa un importante ingreso, para ella, mientras la capacitaban para un trabajo.

Mientras que, Carolina P. indicó que beneficia en mucho a los ciudadanos, más de la zona que requieren de este tipo de apoyos para poder incorporarse en alguna actividad, pero previo a eso se necesita capacitarse, es por eso que los establecimientos que se suman a estas actividades les dan oportunidad a los jóvenes.

Por su parte, una empresaria de la colonia Jesús Martínez Ross , indicó que: “mi negocio se en

una oportunidad y puedan percibir una beca, pero desafortunadamente, algunos de los jóvenes que no están preparados para trabajar ven pesado las tareas que se les asigna, es por eso que algunos decide abandonar el programa, pero desde otro punto de vista es de gran ayuda, pero para ello deben de tener esa capacidad de asumir las tareas que se requiere realizar para que puedan recibir esa beca”. En José María Morelos , los jóvenes de la cabecera que se identificaron como Aida Chi Varela, María Sosa y Agustín López Corona consideran como buena la iniciativa del gobierno federal el hecho de que haya elevado a rango constitucional el programa de “Jóvenes Construyendo el Futuro”, pues según ellos, esa situación no solamente a va ofrecer oportunidad a los muchachos que ya no estudian, sino hasta los que ya tienen una profesión, porque muchas veces al recién egresado de la universidad no lo contratan porque no tienen experiencia laboral y el programa federal brinda ese incentivo.

Indicaron que los jóvenes que cuenten con una beca para su capacitación la deben aprovechar al máximo, porque de eso va depender que más adelante, una vez que termine el periodo, puedan conseguir un buen trabajo o crear su propia empresa.

Aida Chi Valera comentó que ayer supo que el programa se elevó a rango constitucional, lo que le pareció muy bueno, porque con ello el gobierno les da la oportunidad a todos los jóvenes de México, de tener una beca mientras se capacitan.

Expuso que, “con mucha frecuencia, cuando uno sale de la universidad no logra conseguir trabajo, justamente porque no cuenta con experiencia laboral, pero con el programa de Jóvenes Construyendo uno tiene la oportunidad de adquirir esa experiencia, y lo bueno es que tiene una paga segura por un año”.

María Sosa expuso que está buscando integrarse al programa desde agosto, porque al menos este año no está estudiando, pero quiere trabajar para tener experiencia.

Expuso que, “los jóvenes de hoy tienen la oportunidad de aprender un oficio con una beca para que el día de mañana puedan tener mejo-

(Redacción POR ESTO!)

En el municipio de Lázaro Cárdenas , los recién egresados de la universidad carecen de empleos.

El director general de Grupo Over, mencionó que el noveno municipio es una región con características excepcionales, ya que la oferta hotelera es muy buena.

Altos costos en pasaje al aeropuerto

Un especialista dijo que se debe

TULUM.- El aeropuerto de Tulum ha tenido un inicio bastante activo con la incorporación de varias aerolíneas, entre ellas Avianca , que ha lanzado una nueva ruta que conecta Bogotá con el noveno municipio. Aunque se proyecta un desarrollo positivo a largo plazo, en la actualidad enfrenta algunos inconvenientes, como los elevados costos del transporte terrestre y la distancia

atender el transporte para darle visibilidad a la cercanía con el Tren Maya

hacia los principales hoteles del destino turístico.

“El aeropuerto de Tulum es complicado debido a su lejanía y a lo difícil que es el traslado; los hoteles están distantes y el transporte es costoso; sin embargo, creo que Avianca apuesta a que en el futuro será una excelente opción”.

Por su parte, Jaime Alberto Borrero, director general del Grupo Over, expresó que “Tulum

es una región con características excepcionales. La oferta hotelera en los alrededores es muy diversa, desde pequeños establecimientos hasta complejos con más de 900 habitaciones. Sus riquezas arqueológicas y su entorno natural son insuperables. Avianca y Copa han tomado una buena decisión”. La nueva ruta de Avianca entre Bogotá y Tulum iniciará operaciones el 10 de diciembre, con

Clausuran Waldo´s por presunto vertido de aguas residuales

TULUM.- Los propietarios y directivos de la cadena comercial Waldo’s se han visto envueltos en un conflicto con las autoridades municipales de Tulum. Las autoridades procedieron a clausurar la tienda tras recibir una denuncia ciudadana relacionada con el vertido de aguas residuales en el subsuelo; sin embargo, la empresa decidió hacer caso omiso a las medidas impuestas, lo que derivó en la intervención de las fuerzas de seguridad. El conflicto comenzó cuando inspectores de las áreas de Salud, Ecología y Desarrollo Urbano se presentaron en las instalaciones de

Waldo’s para investigar una denuncia que alertaba sobre un sumidero sin tapa en un terreno cercano, donde presuntamente se estaba realizando la descarga ilegal de aguas residuales. Este hecho representaba una amenaza tanto para el entorno natural como para la salud de la población, ya que las filtraciones podían contaminar el área. Después de la inspección, las autoridades detectaron múltiples violaciones a las normativas vigentes, lo que las llevó a proceder con la clausura del establecimiento con el objetivo de evitar una mayor contaminación. Pese a la orden de clausura, los responsables de Waldo’s optaron

por reabrir el local, desafiando las disposiciones municipales. Este acto de desobediencia obligó a las autoridades a recurrir a la policía para garantizar el cumplimiento de las normativas ambientales y de salud. Los agentes se presentaron en el sitio para asegurar el cierre del comercio y poner fin a las actividades que violaban las leyes locales. Este conflicto entre la tienda Waldo’s y las autoridades ha generado preocupación en la comunidad, principalmente por el posible daño ambiental que podría derivarse de las acciones denunciadas.

tres vuelos semanales a bordo de aeronaves Airbus A320, que cuentan con capacidad para 180 pasajeros, sumando más de mil asientos disponibles por semana entre ambos destinos.

El especialista en aviación y consultor independiente, Fabricio Cojuc, anticipó que el aeropuerto de Tulum enfrentará desafíos en un futuro cercano, tales como un transporte terrestre costoso y una

falta de promoción sobre la conexión cercana con el Tren Maya “Próximamente, se deberá solucionar la insufi ciencia del transporte y los altos costos asociados al traslado terrestre desde y hacia el aeropuerto. También es necesario dar más visibilidad a la cercanía que tendrá con el Tren Maya” , comentó Cojuc en su análisis.

(Angela Miranda)

(Angela Miranda)

(POR ESTO!)

Elogian funcionamiento de aeropuertos

El gerente de Copa Airlines aplaudió al AIFA y a la terminal de Tulum al estar bien diseñados

TULUM.- A dos años de la apertura del Aeropuerto Internacional Felipe Ángeles ( el tráfi co aéreo ha mostrado un crecimiento constante. Mauro Arredondo, gerente general de Copa Airline s en México, elogió el funcionamiento tanto del AIFA como de la nueva terminal de Tulum, ambos desarrollados durante el gobierno de Andrés Manuel López Obrador.

“He tenido la oportunidad de utilizar el AIFA, y es un aeropuerto eficiente. Aunque de menor tamaño comparado con el Aeropuerto Internacional de la Ciudad de México (AICM), es muy cómodo para los pasajeros, con una señalización clara”, comentó el directivo. Agregó que el AIFA cuenta con amplios espacios, desde el área de hasta las salas de espera, lo que facilita un flujo ágil tanto en salidas como en llegadas. “Considero que este aeropuerto continúa consolidándose con el tiempo”, añadió.

Arredondo destacó el apoyo recibido por parte de las autoridades aeroportuarias, señalando que la cooperación con el gobierno ha sido clave para la consolidación de las operaciones en el AIFA . “Siempre hemos respetado las normativas del gobierno y colaboramos en todo lo que es posible”, recalcó.

En cuanto al Aeropuerto de Tulum, el directivo subrayó que, aunque de menor tamaño, es funcional y bien diseñado, con espacios distribuidos de manera eficiente. “El manejo de los flujos de pasajeros, tanto de llegadas como de salidas, está muy bien organizado, lo cual es fundamental, especialmente desde un punto de vista de seguridad”, explicó. También mencionó que los procesos de migración y seguridad son automatizados, lo que facilita una experiencia más amigable para los usuarios. “En términos operativos, ambos aeropuertos funcionan bien para nosotros”, afirmó. Por otro lado, Arredondo

aerolínea, anunciando la organización de una rueda de negocios con proveedores de servicios de Panamá. Este evento está dirigido a agencias y mayoristas en México, entre ellas Copa Vacations y sus socios certifi cados, como Mega Travel , PEO , Travel Shop y Mexjal . “Queremos que estos proveedores presenten sus propuestas para 2025 a las agencias mexicanas, ya que consideramos que las agencias minoristas y

estrategia de crecimiento”, concluyó el directivo.

Terminal del noveno municipio gana terreno

A pesar de la notable desaceleración y reducción en el fl ujo de pasajeros en el mercado internacional, el Aeropuerto Internacional de Tulum Felipe Carrillo Puerto está captando una mayor cuota de mercado, según Francisco Madrid Flores, director del

Centro de Investigación Avanzada en Turismo Sostenible. Madrid Flores enfatizó que la caída en las operaciones se puede observar en las estadísticas de agosto, evidenciando que no se trata sólo de un fenómeno del Caribe Mexicano, sino que también afecta a Los Cabos y Puerto Vallarta. Destacó la relevancia de estos tres aeropuertos en el país, ya que juntos representan las dos terceras partes del turismo que

que una porción del mercado esté siendo absorbida por el aeropuerto de Tulum.

En los meses de junio y julio, el aeropuerto de Cancún dejó de recibir 348 mil pasajeros, de los cuales Tulum ya ha captado una parte importante: 177 mil. Además, mencionó que desde abril, el Aeropuerto Internacional de Cancún ha reportado números negativos, con una caída de 667 mil pasajeros hasta agosto. (Angela Miranda)

El inmueble internacional Felipe Carrillo Puerto está captando una buena cuota de mercado, según expertos en turismo. (POR ESTO!)

Dependencias de los tres órdenes de gobierno trabajaron a lo largo de ayer para restaurar los servicios eléctricos, agua potable, Internet y telefonía móvil.

Inician rehabilitación de la isla

Pese

a esfuerzos por restablecer la normalidad, la ocupación hotelera y el arribo de turistas se ven mermados

HOLBOX.- Las lluvias generadas por el Huracán Helene y la creciente resultante han mantenido a la isla sumergida, provocando la interrupción de servicios eléctricos, agua potable y telefonía celular. A partir de ayer, las autoridades municipales, estatales y federales han comenzado a abordar estas problemáticas, iniciando las labores de desagüe en las calles.

Las afectaciones provocadas por el fenómeno meteorológico han limitado a los prestadores de servicios hoteleros, restauranteros y náuticos,

quienes no podrán alcanzar un incremento mayor al 20 por ciento en la ocupación durante este fin de semana. La situación en las calles ha llevado a turistas nacionales y extranjeros a evitar este destino turístico, y aquellos que ya se encuentran allí están acortando su estancia.

Desde las primeras horas de ayer, personal de la Comisión de Agua Potable y Alcantarillado (CAPA) y otras instancias estatales y municipales comenzaron a achicar el agua de las calles afectadas. Carlos Dzul, encargado de la dependencia,

confirmó que estas labores están en marcha. Además, CAPA se ocupa de reparar una fuga en la línea submarina, mientras que brigadas de la Comisión Federal de Electricidad trabajan para restablecer el suministro eléctrico que falló desde el miércoles debido a los fuertes vientos asociados al meteoro.

Las principales dificultades se centran en la electricidad, el agua potable y las calles inundadas, lo que genera poco optimismo entre los prestadores de servicios sobre la posibilidad de recuperar la

Alertan de la presencia de cocodrilos en Holbox; piden tomar precauciones

HOLBOX.- La isla es hábitat de cocodrilos que, después las lluvias, comienzan a salir de las zonas de humedales en busca de lugares soleados para elevar su temperatura corporal. Se recomienda a la población no acercarse a estos reptiles, no molestarlos, ni alimentarlos, y reportar su presencia a Protección Civil, a la Alcaldía de Holbox o directamente a la Comisión de Áreas Naturales Protegidas (Conanp), según indicó personal de esta dependencia.

La alerta surge luego de la difusión de un video en redes sociales que muestra a los cocodrilos saliendo de su hábitat y acercándose a la población. Se insta a los habitantes a tomar precauciones, especialmente a los turistas hospedados en

la zona de Punta Cocos que caminan cerca de los manglares, donde estos animales suelen descansar. El pasado miércoles se compartió un video donde se advierte sobre la presencia de cocodrilos saliendo de los manglares de Holbox. En el clip, se observa cómo una persona golpea con un tronco a un reptil, provocando su reacción defensiva. Esto generó comentarios de la importancia de no interferir con ellos y mantener una distancia segura.

El personal de la Conanp hizo un llamado a los residentes y visitantes para evitar este tipo de comportamientos, ya que, debido a las lluvias, los cocodrilos buscan lugares cálidos o alimento. No se debe invadir su espacio, ya que esto podría llevar a ataques hacia los hu-

manos, creando problemas en este destino turístico que forma parte de una reserva natural.

Se recordó que los cocodrilos están en su hábitat natural, y Holbox es un área de humedales donde las viviendas y hoteles se encuentran integrados. Es común ver a estos reptiles salir para tomar el sol y regular su temperatura corporal. Mientras no sean molestados ni alimentados, suelen ser inofensivos.

Además, se recomendó a los habitantes que viven en zonas de manglares resguardar a sus mascotas, especialmente a los perros, ya que se han registrado ataques a animales que se acercan a los cocodrilos debido a la falta de control por parte de sus dueños.

ocupación hotelera y los eventos recreativos. Aunque la llegada de turistas extranjeros se produjo un día antes del huracán, la actividad turística no superó el 30 por ciento. Con las calles, ahora intransita-

de semana, llevándolos a buscar alternativas más accesibles. Los hoteleros señalaron que, a pesar de la visita de funcionarios estatales para evaluar los daños, no existe un plan estratégico para mitigar las inundaciones y reactivar el turismo. Desde el año pasado, la isla ha enfrentado una disminución en la llegada de visitantes nacionales y extranjeros, con una ocupación general que se ha reducido alrededor del 70 por ciento, explicaron los

Difunden video de un reptil saliendo del manglar.

Se debe evitar alimentar a los reptiles, ya que esto los incita a acercarse a las áreas habitadas, aumentando el riesgo de que consideren al ser humano como presa, como ha sucedido en otras partes del estado. Finalmente, se exhortó a los habitantes a reportar la presencia de cocodrilos a Protección Civil,

la alcaldía o directamente a la Conanp , para que se encarguen de reubicarlos en zonas más seguras. También se pidió a los turistas que visitan áreas alejadas del pueblo en busca de bioluminiscencia que se alejen de estos reptiles al encontrarlos, para no molestarlos mientras descansan. (Luis Enrique Cauich)

(Luis Enrique Cauich)

Suspenden suministro de agua

La CAPA repara una fuga en la tubería submarina de 10 pulgadas, que conecta Chiquilá con Holbox

KANTUNILKÍN.- La Comisión de Agua Potable y Alcantarillado (CAPA) suspendió el suministro hacia Holbox para reparar una fuga en la tubería submarina de 10 pulgadas, que conecta Chiquilá con este destino turístico. Según reportaron las autoridades, el daño pudo haber sido causado por el fuerte oleaje generado por el paso del Huracán Helene Durante el fenómeno meteorológico, el nivel del agua en la Laguna Conil subió considerablemente, llegando hasta el muelle de Chiquilá. Esto, sumado al oleaje, pudo haber provocado la avería en la línea submarina de casi 12 kilómetros, lo que ha afectado el suministro en Holbox reparación iniciaron, pero aún no se tiene un horario definido para el restablecimiento del servicio que afecta a más de 2 mil habitantes.

Carlos Dzul Hoyos, responsable de las oficinas de Kantunilkín, confirmó que no hay una hora estimada para reanudar operaciones, y solicitó a la población y empresarios racionar el agua disponible en sus depósitos durante la emergencia.

Desde primeras horas de la mañana, brigadas de la dependencia llegaron a Holbox el desazolve de las aguas acumuladas por la tormenta, así como en la reparación de la fuga reportada. Como medida preventiva, se suspendió el abastecimiento desde el pozo número dos, ubicado en las afueras de Chiquilá más pérdida, según informaron las autoridades.

No obstante, Dzul Hoyos no detalló si existe un plan de contingencia para abastecer a la población en caso de que las reparaciones se prolonguen, lo que genera preocupación entre los residentes y los turistas que llegaron esta semana, a pesar de las condiciones climáticas.

tente. Finalmente, el gobernador adquirió 12 kilómetros de extrupac R6, que se instaló y funcionó hasta el Huracán Gilberto , que destruyó la línea al pasar por la zona de Yalahau . Nuevamente, los pescadores se organizaron y, con el apoyo del Gobierno estatal, colocaron otro conducto, esta vez anclada con más de 2 mil sacos de arena. Esta solución se

mantuvo hasta que el Huracán Wilma la dañó en 2005. Durante la administración del gobernador Félix González, y con recursos del Fonden , se instaló una nueva línea de agua potable de 10 pulgadas. Sin embargo, en esa ocasión, se otorgaron recursos mínimos por los trabajos de restablecimiento de la infraestructura. A pesar de que esta sigue opera-

tiva, se ha solicitado a las autoridades de CAPA y al Gobierno del estado que tomen las previsiones necesarias, ya que pronto será necesario renovarla. Dado el fl ujo turístico en la zona, es crucial que este proceso se planifique con antelación para evitar afectaciones graves a este destino. La actual línea submarina está por cumplir dos décadas y ya ha

presentado fugas durante los huracanes Delta y Zeta en 2020. Además, ha tenido al menos un par de incidentes más en años recientes, lo que ha llevado a empresarios y residentes a exhortar a las autoridades a gestionar la renovación de la tubería submarina, o al menos estar preparados para realizar la sustitución cuando sea necesario. (Luis Enrique Cauich)

Lancheros esperan la reapertura del puerto

Cada vez que se presentan fallas en esta infraestructura, los habitantes y empresarios de Holbox recuerdan a CAPA la necesidad de gestionar recursos para renovar la tubería. La actual, instalada tras el Huracán Wilma, ya cuenta con casi dos décadas de uso y tiene fugas con mayor frecuencia, lo que evidencia la urgencia de su reemplazo. En su momento, Nain Moguel, un empresario pionero en Holbox, comentó que, en 1984, durante el gobierno de Pedro Joaquín Coldwell, la isla era principalmente una comunidad de pescadores. En esa época, se gestionó la construcción de una cooperativa pesquera, que fue inaugurada por el gobernador en turno. Aprovechando su visita, se solicitó el cambio de la tubería de agua potable, ya que la línea inicial de cuatro pulgadas no era suficiente. Cuba donó una de ocho pulgadas, pero esta tampoco resistió las corrientes de la laguna, lo que generaba cortes frecuentes en el suministro. Para resolver el problema, se necesitaba una tubería más resis-

CHIQUILÁ.- Lancheros y pescadores esperaban la reapertura del desembarcadero para embarcaciones menores con la intención de devolver sus lanchas al puerto de abrigo. Se anticipaba que los trabajos comenzarían ayer por la tarde o este viernes por la mañana, lo que limitaba sus posibilidades de ofrecer servicios a los pocos turistas que llegaban a Holbox

Los afectados señalaron que pocas embarcaciones permanecían resguardadas en el puerto de abrigo, mientras que la mayoría de las más de 100 lanchas y alrededor de 400 pesqueras fueron aseguradas en las calles del poblado o en zonas cercanas, a la espera de la autorización para retornar a la laguna. Carlos Olivar explicó que, a pesar de que el clima había mejorado, debían esperar el permiso de la capitanía para mover los botes de regreso. Mientras tanto, el puerto seguía cerrado hasta el

mediodía, y no descartaban recibir el permiso por la tarde para comenzar los trabajos. En todo caso, se preveía que el retorno de las embarcaciones no ocurriera hasta el viernes, lo que afectaba la posibilidad de ofrecer servicios turísticos a los pocos visitantes que llegaran a la isla durante el fin de semana. Además, el proceso para devolver las lanchas al puerto de abrigo toma tiempo, ya que solo disponen de dos remolques para el transporte.

Los lancheros y pescadores informaron que sus embarcaciones permanecían aseguradas en las calles del poblado y en áreas fuera de la comunidad, en terrenos elevados y rodeados de vegetación, como medida de protección ante los fuertes vientos de hasta 70 kilómetros por hora que trajo el huracán.

A pesar de que se pronostica buen clima con probabilidades moderadas de lluvia, descartaron

aún más la baja temporada que enfrentan desde el fin de las vacaciones de verano. Los lancheros de dependen de los visitantes para ofrecer recorridos a sitios , e , actividades que ahora (Luis Enrique

Cauich)
Las embarcaciones fueron aseguradas en las calles. (Luis Cauich)
Durante el paso de Helene , el nivel de la Laguna Conil se elevó, y el oleaje podría haber sido la causa del desperfecto. (Luis Cauich)

Felipe Carrillo Puerto

Bloquean camino por enojo con la CFE

Pobladores de Presidente Juárez y localidades vecinas acusaron constantes apagones durante un mes

FELIPE CARRILLO PUER-

TO.- Hartos de los constantes apagones en el suministro de energía eléctrica en la comunidad de Presidente Juárez y localidades circunvecinas, los habitantes, tras una reunión, decidieron ejercer presión sobre las autoridades y la Comisión Federal de Electricidad (CFE) para que mejoren el servicio que prestan a la comunidad. Como parte de sus acciones, iniciaron un bloqueo en la carretera 293 Chetumal–Mérida, a la altura del crucero del poblado mencionado.

De acuerdo con la información recabada del presidente del Comisariado Ejidal, Maximiliano

Zapata, de la comunidad de Presidente Juárez , este movimiento se debe a los constantes apagones que han estado ocurriendo durante varios meses, sin que la CFE tome cartas en el asunto. Cansados de esta situación, los habitantes del pueblo de Presidente Juárez decidieron bloquear la carretera federal, colocando palos, piedras y troncos sobre la vía para evitar la circulación de vehículos. Manifestaron que están dispuestos a levantar el bloqueo tras un diálogo con las autoridades y representantes de la CFE

Debido al bloqueo, se formaron largas fi las de vehículos, incluyendo unidades pesadas,

compactos y de servicio público.

Otras comunidades indignadas

De acuerdo con la información recabada de los propios habitantes de la comunidad de Tuzik , Eulogio N comentó que desde hace varios días no cuentan con el servicio de energía eléctrica en toda la comunidad, lo que ha generado serias molestias entre los vecinos, quienes requieren este servicio.

Indicó que “la falta de energía eléctrica ha generado que otros servicios no puedan funcionar en el pueblo, como el agua potable,

Guardia Nacional rescata a un niño caminando solo en la calle

FELIPE CARRILLO PUER-

TO.- Una rápida intervención de los elementos de la Guardia Nacional, quienes realizaban recorridos de vigilancia en el centro de la ciudad, logró interceptar a un niño que caminaba solo por la vía pública, corriendo el riesgo de ser atropellado en la transitada avenida Benito Juárez. Los agentes lo rescataron y resguardaron hasta que apareció su madre.

Los hechos se registraron al mediodía de este jueves, en la avenida Benito Juárez con calle 61, en la colonia Centro , cuando los elementos de la Guardia Nacional realizaban un recorrido de vigilancia. De manera repentina, notaron que cerca de una tienda de conveniencia en la zona, un niño de aproximadamente uno o dos años caminaba solo.

Los elementos detuvieron la marcha de la unidad para descender y poner al menor bajo

resguardo mientras aparecía su madre, quien llegó pocos minutos después. Al parecer, la mujer se encontraba trabajando en una vivienda cercana, cuando el niño salió del domicilio abriendo las rejas, sin que ella se diera cuenta.

La mujer presentó la documentación correspondiente, demostrando que el niño era su hijo y que había salido por un descuido mientras ella trabajaba. Los elementos de la Guardia Nacional entregaron al menor, pero antes exhortaron a la madre a ser más cuidados, advirtiendo que el niño pudo haber sido atropellado por algún vehículo en la transitada avenida.

Reporte de gente armada, moviliza cuerpos policiales.

Ayer por la mañana, a través del número de emergencias, la Policía Municipal atendió el re-

porte de personas armadas a bordo de un vehículo que circulaba por la avenida Lázaro Cárdenas con calle 38. En respuesta, los oficiales se desplazaron a la zona para intentar interceptar a los presuntos pistoleros.

Varias unidades de la Policía Municipal se dirigieron a la zona para intentar localizar el vehículo en el que se desplazaban los individuos; sin embargo, después de varios recorridos por el área, incluyendo la región de Los Planes, no lograron ubicar el automóvil. Después de un amplio recorrido por la zona, no localizaron ningún vehículo con personas armadas a bordo; sin embargo, interceptaron a un individuo con actitud sospechosa, quien fue abordado en una patrulla y trasladado a las instalaciones de la Policía Municipal para las diligencias correspondientes.

que recientemente fue reparada tras un desperfecto. Estuvo varios días fuera de servicio por descompostura y ahora, nuevamente, por falta de energía eléctrica.”

Señaló que la falta de energía eléctrica está afectando directamente a más de mil habitantes de esta comunidad, y que, a pesar de haber reportado la deficiencia en el servicio, hasta el momento no ha sido atendida. Es el mismo caso en la comunidad de Dzulká , donde un sector de la población se encuentra sin servicio de energía eléctrica, lo que ha generado serias molestias entre los vecinos. Esta situación afecta directamente a las tiendas

que venden productos que requieren refrigeración. Ante esto, hicieron un llamado a la paraestatal para que se aboque a atender este desperfecto.

También se está registrando una situación similar en un sector de la ciudad de Felipe Carrillo Puerto, específicamente en la avenida Tecnológico, entre las calles 73 y 75. Al parecer, una rama está en contacto con los cables, lo que provoca que se disparen las cuchillas. Como resultado, los ciudadanos se quedaron sin este servicio durante la noche y, según informaron, incluso parte de la del día siguiente mañana no se había restablecido. (Justino Xiu)

Los agentes entregaron al menor de 2 años a la madre.

La zona de Los Planes es con-

siderada un foco rojo, por lo que el patrullaje de la Policía Estatal, la Guardia Nacional, el Ejército Mexicano y la Secretaría de Marina ha sido frecuente; sin embargo, hasta el momento no se ha

informado si estos recorridos han dado resultados concretos, como la detención de alguna persona o el decomiso de algún tipo de enervante.

(Justino Xiu)
(Justino Xiu)
Residentes dijeron que el mal servicio de energía eléctrica afecta a más de mil habitantes.

Inmueble de la SSC, estancado

La construcción del edificio de la corporación en

FELIPE CARRILLO PUER-

TO.- A pesar de los anuncios realizados, en los que estuvieron presentes funcionarios de la Secretaría de Seguridad Ciudadana (SSC) del Estado, sobre la construcción del edificio que albergará esta corporación en la comunidad de Muyil, hasta el momento no se ha podido concretar el proyecto. Este edificio sería clave para contrarrestar los hechos violentos que se generan en la Zona Norte del municipio, señaló el subdelegado de esta localidad, Gaudencio Cen May.

La fuente indicó que en el mes de abril, tras los trámites legales realizados dentro del núcleo agrario, se determinó donar un predio al Gobierno del Estado para la construcción de la base de la Policía Estatal. Este terreno corresponde a una superficie de 25 por 50 metros y está ubicado a 300 metros de la Carretera Federal 307, Reforma Agraria–Puerto Juárez.

Gaudencio Cen May indicó que han transcurrido varios meses, pero hasta el momento, este proyecto no se ha podido consolidar. Señaló que es necesario retomar la iniciativa para que se inicie la edificación de esta base, donde se pretende invertir varios millones de pesos.

Indicó que “para la construcción de esta base policial se han presentado innumerables trabas que, hasta el momento, no se han podido atender. Consideramos que el año va a concluir sin que se inicie su construcción, a pesar de que es una necesidad contar con una base de la Policía para contrarrestar los delitos de alto impacto que se han generado en esta región.”

Siguió diciendo que “en esta comunidad se suscitan problemas de manera constante, desde agresiones y riñas, hasta casos en los que se han lesionado a personas con arma blanca, además de otros delitos de alto impacto que requieren atención por parte de la policía”.

Comentó que “debido a que hasta el momento no se tiene la base, la Policía Estatal destacada en esta localidad se está mudando constantemente, ya que parece que la Secretaría no les cubre la renta del inmueble donde están alojados, lo que lleva a los propietarios a solicitar su retiro.”

Indicó que, si se tuviera esta base, no habría necesidad de que se estén mudando constantemente. Esta obra, que se prevé con una inversión millonaria, incluiría una subdelegación municipal, la cual actualmente no existe en el pueblo.

Con la llegada de los proyectos del gobierno federal en esta región, como el Tren Maya y el Aeropuerto Internacional de Tulum, se ha incrementado la presencia de ciudadanos que laboran en estos, así como de visitantes que utilizan estos nuevos servicios. Por lo tanto, es necesario fortalecer la seguridad en esta zona, donde se registran de manera constante hechos de alto impacto.

El subdelegado de la comunidad dijo que el tener una base de policía, ayudará mucho a contrarrestar los actos delictivos. (POR ESTO!)

Dos mujeres resultan heridas tras choque

FELIPE CARRILLO PUER-

TO.- Dos mujeres que circulaban en una motocicleta sin la debida precaución, sobre la avenida Constituyentes, al intentar realizar un cambio de dirección, provocaron una colisión con otra unidad ligera. El impacto las proyectó sobre el pavimento, causándoles heridas graves. Fueron atendidas por paramédicos de la Cruz Roja y posteriormente trasladadas al Hospital General para recibir atención médica.

Los hechos se registraron sobre la avenida Constituyentes, a la altura de la calle 51 en la colonia Constituyentes, donde ocurrió el choque entre dos motocicletas. Dos mujeres que circulaban a bordo de la unidad que presuntamente causó el accidente resultaron lesionadas. Al lugar acudieron elementos de la Dirección de Tránsito Municipal, quienes se encargaron de realizar las diligencias necesarias para determinar las responsabilidades del accidente. Dada la magnitud del choque, solicitaron la presencia de paramédicos de la Cruz Roja para atender a las lesionadas, quienes se quejaban de dolores en diversas partes del cuerpo. Uno de los vehículos involucrados en este accidente era una motocicleta marca Italika , color negro, sin placas de circu-

lación. Esta unidad era conducida de norte a sur por una mujer, quien viajaba acompañada por otra fémina. Al parecer, la conductora, sin la debida precaución, realizó un cambio de dirección hacia su izquierda, lo que provocó la colisión y las proyectó sobre el pavimento. El segundo vehículo involucrado era una motocicleta de la marca Carabela, color verde con blanco, sin placas de circulación, que circulaba de sur a norte sobre la avenida Constituyentes, con

preferencia de paso. Al verse obstruido, terminó impactándose contra la unidad en la que se desplazaban las mujeres.

Una vez atendidas por los paramédicos, las mujeres fueron trasladadas a la ambulancia para ser llevadas al Hospital General, que se encuentra a dos cuadras del lugar de la colisión.

Mientras tanto, en la misma avenida, pero en la intersección de la calle 83, se registró un choque entre un taxi perteneciente al Sindicato de Taxistas “General

Francisco May”, que circulaba sobre la calle 83 de oriente a poniente. Al parecer, al no respetar el alto en disco fijo, el taxi colisionó con una motocicleta que transitaba por la vía preferencial. Al lugar acudieron elementos de la Dirección de Tránsito municipal, quienes se encargaron de realizar los trabajos periciales. Dado que en este incidente solo se registraron daños materiales, no fue necesaria la intervención de los paramédicos de la Cruz Roja. (Justino Xiu)

Paramédicos de la Cruz Roja trasladaron a las lesionadas al Hospital General. (POR ESTO!)

José María Morelos

Desaprovechados, atractivos rurales

Un especialista en turismo alternativo dijo que hay poco interés de la población para integrar cooperativas

JOSÉ MARÍA MORELOS.- El especialista en turismo alternativo

David Ernesto Ucan Puc dio a conocer que los habitantes de los ejidos del municipio han mostrado poco interés por integrar cooperativas o asociaciones de producción para explotar, con fines turísticos, la gran riqueza de recursos naturales, culturales e históricos que tienen en esos lugares, lo que causa que estén en el olvido, sin que generen recursos para la población.

Comentó que actualmente, sólo en comunidades que integran la Ruta de las Iglesias tienen cooperativas y a través de éstas se está impulsando el turismo, como en el caso de las localidades temó, Sacalaca

Dijo que en la mayoría de los ejidos de la citada ruta turística y otras zonas del municipio tienen atractivos naturales, pero la gente no se organiza para explotarlos.

Aseguró que esa situación se debe, muchas veces, a que hay gente en las localidades o en los ejidos que se oponen a que se exploten esos sitios naturales históricos con fines turísticos

Según el especialista, el área de Turismo municipal debería trabajar en las comunidades para que la gente vea la importancia de aprovechar los recursos que tienen ahí atraer visitantes nacionales y extranjeros.

Laboran con

Aseguró que a nivel estatal se está trabajando con “ el turismo comunitario y por allá la gente debería empezar a integrar una cooperativa para generar ingresos.

Reconoció que en esta demarcación hace falta que las comunidades vean y valoren la importancia del turismo rural para que lo empiecen a fomentar.

Dio a conocer, que el fomento del citado segmento en la comunidad de Kantemó, a través de una cooperativa, es un claro ejemplo de que si la gente se organiza puede trabajar proyectos que les beneficien económicamente.

trabajar y a promocionar las ruinas mayas de Yok’oop a fin de atraer a visitantes nacionales y extranjeros.

Asimismo, agregó que en el caso de Sabán, por iniciativa de los ejidatarios, ahora van a empezar a

Señaló que con ese proyecto la comunidad de Sabán va a buscar detonar su economía, ya que no sólo va a promocionar la zona ar-

queológica de Yok’oop, sino también sus iglesias coloniales, gastronomía, artesanía y tradiciones. Con el lema “Turismo y paz” hoy se conmemora el día mundial el cual fue impulsado por la Organización Mundial del Turismo.

En ese marco, la licenciatura en turismo alternativo de la máxima casa de estudios en el municipio va a organizar un evento el próximo 4 de octubre, que ha denominado “Rally Intercultural”. (Lusio

Kauil)
David Ernesto Ucan Puc instó al área de Turismo municipal a incentivar a los habitantes para crear proyectos productivos. (Fotos Lusio Kauil)

Entre los cultivos más afectados están los naranjos, ya que son picados por los pájaros. El campesino aseguró que en temporadas pasadas lograba levantar 20 cajas del cítrico.

Animales de monte afectan siembras

Parceleros del Kilómetro Cincuenta afirmaron que los incendios forestales acabaron con los alimentos

JOSÉ MARÍA MORELOS.-

Los animales del monte se han acercado a los cultivos que tiene la gente en el campo, pues de acuerdo con el representante de los parceleros del ejido Kilómetro Cincuenta, Agustín Uc Colli, esta vez todos los frutos de los naranjos, hortalizas y el maíz que apenas empiezan a colgar están siendo comidos por los pájaros, ardillas, tejones y mapaches, al no encontrar nada para alimentarse a raíz de los incendios forestales, señaló.

Dijo que la gente que tiene su milpa o parcela debe vigilar diariamente porque si se descuida es casi seguro que no va a lograr cosechar nada de los cultivos que empiezan a madurar en el campo.

Señaló que en el caso de la naranja dulce está siendo picada por los pájaros, aunque esté verde.

Refirió que esa situación ha obligado a los parceleros a bajar el fruto aunque no esté maduro ya que si se esperan a que alcance el tono amarillo no van lograr cosechar nada.

Indicó que hasta hace unos cuatro años, en las parcelas se podían ver naranjas colgadas, bien amarillas, porque los pájaros no las comían, pero ahora estará difícil que

cosechen la fruta madura.

Agregó que lo mismo está pasando ahora con el maíz en las milpas, pues apenas está colgado el elote y los pájaros lo están picando, mientras los tejones ya los empiezan a pelar para comer, al igual que los mapaches.

Mencionó que los animales están acabando también con la calabaza, pepino y frijoles que tienen en las parcelas, al carecer de alimentos en el monte.

Recordó antes la gente del campo levantaba buena cosecha. Por ejemplo, él bajaba en cada árbol hasta 20 cajas de naranja; ahora, difícilmente logra llenar una caja, porque la gran mayoría del fruto ya está picado por los pájaros.

Asimismo, dijo que en su milpa cosechaba hasta una tonelada de maíz en una hectárea; sin embargo, ahora no saca ni 200 kilos, porque los tejones dañan mucho el maizal cuando está colgando su fruto.

Los productores del municipio han señalado que desde hace unos tres años de la presencia de animales del monte en sus milpas, quienes entran a comer todo lo que cultivan.

Don César Canul manifestó que esta vez, por la sequía, los mapa-

Los productores aseguraron que tenía mucho tiempo que no veían una variada gama de especies consumiendo los frutos; ahora tiene (Fotos Lusio Kauil)

Los afectados dijeron que las milpas están siendo arrasadas por tejones, mapaches, venados y jabalíes.

ches y jabalíes acabaron con su sembradío de camotes y yuca. El venado entró a comer los frutos tiernos de la pitahaya, cosa que no se veía, pues, según él, desde que tiene milpa ha sembrado esa variedad y nadie se los comía.

Afectación por incendios

Los incendios forestales regis-

trados en 2024 consumieron cerca de 16 mil hectáreas en el estado. Entre los municipios más afectados estuvieron Bacalar, Lázaro Cárdenas y José María Morelos. El ejido Kilómetro 50, en José María Morelos, reportó la pérdida de 200 hectáreas de selva mediana. Juan Bautista Moen Cano, presidente de este comisariado ejidal, dijo que también perdieron

decenas de apiarios, afectado gravemente a los productores locales. Debido a las fuertes afectaciones, los animales silvestres han buscado agua y alimento en las comunidades, por lo que cada vez es más frecuente que ingresen en parcelas, incluso en los patios de las viviendas, lo que es perjudicial principalmente para los animales. (Lusio Kauil)

El paraatleta militó en el conjunto

Teme no integrarse a preselección

José Concepción Rodríguez busca apoyo; fue invitado al equipo nacional de basquetbol en silla de ruedas

JOSÉ MARÍA MORELOS.-

José Concepción Rodríguez Chimal, integrante del otrora equipo de basquetbol en silla de ruedas Jaguares, dio a conocer ayer que fue invitado a participar en un proceso de preselección en la Ciudad de México para que forme parte de la selección nacional; sin embargó, adelantó que no será posible hacer el viaje a la capital del país porque no cuenta con recursos económicos, pues, según él, en el municipio no se apoyó a los deportistas con limitaciones físicas.

Recordó, el día 23 de este mes la Federación Mexicana de Deportes en Sillas de Ruedas le envió una invitación para que forme parte de una preselección nacional de basquetbol en silla de ruedas, lo que le dio mucho gusto porque con ello se valora el esfuerzo que hizo en el club Jaguares de esta ciudad.

Sin embargo, agregó que le dio mucho pesar porque siente que no podrá asistir a ese evento debido a que no cuenta con recursos para viajar a la Ciudad de México. Indicó que hará un intento por

buscar patrocinadores en los comercios locales de esta ciudad, y si logra que lo apoyen es probable que haga ese viaje el próximo mes.

Refirió que ha estado recibiendo ayuda de sus conocidos y amigos, pero nadie del ayuntamiento se ha acercado para ofrecerle apoyo económico a fin de que ya empiece a preparar su viaje a la capital del estado.

Comentó que la invitación no sólo se le hizo llegar a él, sino a todos los deportistas en sillas de ruedas de los 32 estados del país, ya que lo que se quiere es hacer una selección

Vecinos se quejan de arrancones en las inmediaciones del Cobach

JOSÉ MARÍA MORELOS.Residentes cercanos a la zona donde se ubica el Colegio de Bachilleres (Cobach) han reportado constantemente arrancones de motocicletas; según el coordinador operativo de la Policía de Vialidad, Mauricio Gasca Reyes, se ha llamado la atención a los jóvenes que incurren en esa práctica, sobre todo después de las 11 de la noche ya que algunos modificaron los mofles de sus unidades y hacen mucho ruido. Comentó que los elementos han estado haciendo sus rondines por la zona del plantel escolar sin los códigos encendidos para no alertar a los infractores del bando de policía y buen gobierno, lo que ha servido para ubicar a los jóvenes, ya que en caso contrario los muchachos se esconden en los terrenos y no encuentran a nadie.

Refirió que la Policía no está en contra de que los jóvenes hagan ruido con sus motos, pero eso lo deben hacer en un lugar apropiado y con el apoyo de los clubes de motociclistas a los que pertenecen. Consideró que es muy incómodo que lo hagan en la calle, sobre todo a la hora en que la gente se alista para descansar después de una jornada de trabajo agotadora.

Según Gasca Reyes, los jóvenes que hacen sus arrancones por la zona del Cobach, mayormente son estudiantes de la misma escuela, y esperan que la ciudad está tranquila para empezar con su ruido.

Dio a conocer que a los muchachos que se les ha detectado con sus unidades practicando arrancones se les ha hecho firmar una carta compromiso en donde aceptan no ser reincidentes en ese tipo de conductas.

Dijo que muchos de esos jóve-

nes cumplen y evitan hacer ruido con sus motos, pero otros reinciden en esa falta administrativa.

Reiteró que la Policía no está en contra de que los jóvenes anden en motos y hagan ruido, pero, según él, eso lo deben hacer en un lugar apropiado y a una determinada hora del día, pero no cuando la gente ya va a descansar.

En junio de este año se hizo un operativo por el Colegio de Bachilleres para detectar a los jóvenes que traen motos con mofles modificados y quienes no portan su documentación en regla.

Esa vez, fueron detenidas 12 unidades y luego remitidas al corralón de la Policía Municipal, a otras más se les retuvo porque los dueños no contaban con licencia de manejo ni tarjeta de circulación.

nacional representativa, y que todas las entidades tengan un deportista.

Dijo que de llegar a ir a la capital del país, estaría unos 60 días entrenando para estar en condiciones óptimas a fin de empezar a jugar con la selección nacional.

Detalló que la Federación Mexicana de Deportes en Silla de Ruedas es la instancia que está viendo que se forme este equipo de basquetbol nacional que representaría al país en eventos internacionales.

Rodríguez Chimal reveló que no es la primavera vez que recibe una

invitación de ese tipo, ya en otros años lo habían tomado en cuenta, pero la limitación económica le ha impedido asistir a esos eventos. El deportista formó parte del equipo de basquetbol sobre silla de ruedas, el cual llegó a ganar campeonatos a nivel estatal, por lo menos en tres ocasiones. El equipo Jaguares se desintegró durante la administración de Sofía Alcocer (2018-2021) porque ya no siguió recibiendo apoyos para que continuaran jugando. (Lusio Kauil)

Los afectados piden que se hagan operativos cada

El operativo fue realizado a sugerencia de los vecinos de la zona

del colegio que ya estaban molestos por el ruido de motos con mofles modificados en que se transportan los jóvenes estudiantes. Desde que se llevó a cabo ese

operativo no se ha vuelto a realizar otro, aunque los vecinos de

viernes. (Lusio Kauil)
la zona han pedido que se hagan los viernes de cada semana. (Lusio Kauil)

Península

Imparable, alza de precios

En la primera quincena de septiembre, la inflación estatal fue de 5.1%, la tercera más alta del país

MÉRIDA, Yuc.- Durante la primera quincena de septiembre, Yucatán se ubicó en el “top 5” de los estados con mayor inflación en México, con una tasa del 5.1 por ciento, reportó la organización México, ¿Cómo vamos?, con base en información del Instituto Nacional de Estadística y Geografía (Inegi).

Aunque el estado fue superado Oaxaca y Colima, la diferencia fue de apenas 0.1 por ciento, al registrar ambos 5.2 por ciento, con lo que Yucatán ha mostrado una preocupante tendencia alcista en los precios.

En todo el país, la inflación general anual fue del 4.66 por ciento, en los primeros 15 días de septiembre, un dato que muestra un descenso de 0.5 por ciento en comparación con el 5.16 por ciento de la segunda quincena de agosto. Yucatán está muy por arriba de la media nacional; el alza de los precios sigue afectando la economía familiar, particularmente en los productos de la canasta básica. El costo promedio de la canasta básica en la entidad alcanzó los 886.50 pesos en la primera mitad de septiembre, un aumento de 41.1 centavos en comparación con el mes anterior. Entre los productos más afectados por el alza de precios se encuentran las verduras, frutas, carnes, legumbres y lácteos.

Aunque los precios de los alimentos básicos han disminuido desde agosto, pues la canasta superaba los mil pesos, el panorama sigue siendo complicado para los yucatecos, que enfrentan ingresos bajos y significativas variaciones en el costo de los alimentos.

De acuerdo con el monitoreo de precios realizado por la Procuraduría Federal del Consumidor (Profeco), los supermercados Bodega Aurrera en Mérida y Chedraui en Quintana Roo presentaron los precios más bajos, con canastas entre 750 y 756 pesos, respectivamente. Sin embargo, los meridanos aún encuentran dificultades para enfrentar los gastos cotidianos, especialmente en productos como tomate, zanahoria y cebolla, cuyos precios aumentaron 1.02 por ciento en el último mes.

Aunque ha habido una reducción en los costos respecto a meses anteriores, los datos indican que el impacto inflacionario sigue pesando en el bolsillo de los ciudadanos.

(Katia Leyva)

El alza de los precios sigue afectando la economía de las familias, particularmente en los productos de la canasta básica.

Yucatán fortalece sectores estratégicos

MÉRIDA, Yuc.- El Gobierno estatal puso en marcha una serie de iniciativas que han contribuido al crecimiento económico sostenido, posicionando a Yucatán como un referente nacional con la modernización de la infraestructura, la generación de empleo y el fortalecimiento de sectores estratégicos, aseguró Ernesto Herrera Novelo, secretario de Fomento Económico y Trabajo (Sefoet).

De acuerdo con el calendario aprobado en pasadas sesiones ordinarias, en el segundo día de las comparecencias con motivo del análisis de la glosa del Sexto Informe de Gobierno, se tocaron temas sobre Desarrollo Económico y Territorial.

A la primera parte de la sesión asistió el secretario de Fomento Económico y Trabajo, quien afirmó que, para incrementar la inversión en Yucatán, se realizaron acciones de atención y asistencia técnica dirigidas a empresas nacionales e internacionales.

“Durante el 2024 se registraron 15 proyectos de inversión privada, nacional e internacional, por 13 mil 906 millones de pesos que permitirán la creación de 8 mil 170 empleos directos e indirectos”. Informó que, como parte de la iniciativa MicroYuc, se cuenta con el programa MicroYuc Mujeres, cuyo objetivo es mejorar

los esquemas de financiamiento a empresas constituidas por mujeres, así como impulsar el empoderamiento femenino en el sector laboral del estado, por lo que se entregaron 35 créditos a 26 empresas constituidas por mujeres, con una inversión de un millón 100 mil pesos. En el programa MicroYuc Empresarial se entregaron ocho créditos a

de un millón 595 mil pesos. Así también, el programa Microyuc Autoempleo apoyó 84 iniciativas de ocupación por cuenta propia, mediante la entrega de apoyos en especie para crear, fortalecer o mantener las iniciativas ocupacionales que permitan la consolidación de empleos dignos y sustentables y se apoyó a 90 personas con una inversión de

Herrera Novelo señaló que, respecto al Indicador Trimestral de la Actividad Económica Estatal del Inegi, Yucatán destacó 2024 por tener un crecimiento económico superior a los niveles nacionales, con 3.9 por ciento en el primer trimestre del 2024, superando el valor nacional de 2.4 por ciento, que permitió ocupar el sexto lugar. (Edwin Farfán)

Los constantes “cortes” de energía mantienen hartos a los pobladores de la ciudad. Las lámparas LED requieren de la reposición de la pieza completa para funcionar.

Variación de voltaje, una llaga social

CIUDAD DEL CARMEN, Campeche.- Pérdidas superiores a los 300 mil pesos ha tenido el alumbrado público de la ciudad ante las permanentes variaciones del suministro de voltaje de energía por parte de la Comisión Federal de Electricidad (CFE), aunado a la humedad, las fotoceldas y el cableado que no se arregla, cuando lo efectivo sería reemplazar las piezas descompuestas.

Por la temporada de lluvias es normal que la humedad genere fallas y que los cables se sulfaten por la salinidad, sin embargo, los mayores daños los han reportado ciudadanos de todas las colonias donde diario hay apagones.

En el último mes y medio la situación se ha recrudecido en Carmen debido a las malas condiciones del alumbrado público, el tendido eléctrico y los apagones a causa de fallas en los transformadores y cuchillas.

Decenas de reportes señalan que las lámparas de tecnología LED que prenden se apagan, otras que dejaron de encender, echan chispas, despiden olor a quemado y la zona está a oscuras, sin contar

Del 3 de agosto a la fecha se han reemplazado 300 lámparas en diversas calles y avenidas, siendo las colonias con más problemas Reforma, 23 de Julio y Restito de las Pilas”.

GUSTAVO

los apagones generalizados en un solo sector que a veces tarde varios días en ser atendido.

Gustavo Salinas García, director de Servicios Públicos Municipal, dijo que desde el tres de agosto a la fecha fueron reemplazadas 300 lámparas sobre la calle 50-A, 51 hasta la 35; 20 luminarias en la calle 37 desde la avenida Periférica Norte hacia la 56, todas por variaciones en el voltaje, pero las colonias con más problemas de electricidad son Reforma, 23 de Julio y Restito de las Pilas. El problema de suministro eléctrico estable en Ciudad del Carmen

ha representado pérdidas por más de 300 mil pesos para la dependencia municipal, esto representa un monto alto para tan corto tiempo. Reconoció que hay varias colonias que tienen postes de alumbrado reportados sin luz, los cuales atenderán conforme lleguen las piezas solicitadas.

Hizo un llamado a la población a que al mínimo indicio de que hay algo malo con una lámpara o poste de alumbrado público haga el reporte, pues solo así podrán conocer la raíz del problema, además de generar su ingreso al calendario de trabajo del personal que tanto de día como de noche acude a verificar las fallas. Por último, el director de Servicios Públicos dijo que, si bien el alumbrado transforma una colonia, espacios públicos, avenidas, es una realidad que representa un tema de seguridad, por lo que en medida de lo posible atienden los casos más problemáticos, sobre todo cuando son zonas escolares, áreas de muchos transeúntes o con tránsito pesado, ya que una arteria oscura puede ser peligrosa y generar accidentes de tránsito.

(Perla Prado)

No basta con revisar la falla y hacerle un remedio “casero”, sino encontrar el daño y a partir de ahí buscar la solución para acabar con el problema desde la raíz. (P.Prado)

Deportes

Cancún, Q. Roo, viernes 27 de septiembre del 2024

Liberación

Con dos pases de anotación del mariscal Dak Prescott, los Vaqueros se imponen 20-15 a los Gigantes de Nueva York y logran salir de su mala racha en el inicio de la Semana 4 

El running back Rico Dowdle fue elemental para que los Cowboys equilibraran su marca en la campaña (2-2), mientras que su rival divisional se quedó con registro de 1-3. (AP)

Yanquis gana el banderín del Este de la Americana; el 21er en toda su historia

Pegan el campanazo en el debut del Abierto de Tokio; despachan a los favoritos

Leo Messi y el Inter Miami cumplen los deseos de 23 niños con enfermedades

Página 46

Bomba de oxígeno para Vaqueros

Dallas regresa a la senda del triunfo después de pegarle 20-15 a Gigantes de Nueva York

ESTADOS UNIDOS.- Con susto final, los Vaqueros de Dallas se aferraron a su temporada al ganar por 20-15 un trascendental partido en el campo de los Gigantes de Nueva York que les permitió equilibrar 2-2 su balance de victorias y derrotas en la NFL, en el encuentro que abrió el programa de la cuarta semana.

Con poco brillo y con preocupación por Micah Parsons, quien se retiró lesionado en el cuarto período, los Cowboys dejaron atrás las dos derrotas sufridas en casa contra los Santos de Nueva Orleáns y los Cuervos de Baltimore.

La mejoría de los texanos se vio en defensa y en concreto por tierra. Si los Saints les dejaron en evidencia por su falta de solidez, este jueves los Giants tan solo sumaron 26 yardas a la carrera.

El quarterback de los Cowboys , Dak Prescott, selló su decimotercera victoria consecutiva contra los Giants , que perdieron por tercera vez en cuatro partidos disputados este año.

Prescott lanzó para 221 yardas (22 de 27 en pases), con dos pases de anotación, para Rico Dowdle (15 yardas) y CeeDee Lamb (55 yardas), sin interceptaciones.

Lamb tuvo siete recepciones, para 98 yardas; Jake Ferguson también sumó siete y recorrió 49 yardas. Por tierra, Rico Dowdle firmó once carreras para 46 yardas.

En los Giants , Daniel Jones lanzó para 281 yardas (29 de 40 en pases), pero no consiguió pases de anotación y fue interceptado en la última jugada por Amani Oruwariye.

Dallas pudo celebrar un triunfo trascendental para evitar complicar aún más su campaña.

Porque los texanos , seis veces campeones de la NFL, no ganan el título desde 1996 y llegaron a la nueva temporada repletos de incógnitas, tras quedarse cortos en los momentos clave de los últimos playoffs

El 32-48 sufrido contra los

Empacadores en casa en la primera ronda de los últimos playoffs del año pasado dejó tocados a los Cowboys, y el comienzo del nuevo curso, con un solo triunfo en tres partidos, aumentó los problemas.

El equipo de Mike McCarthy había ganado a los Browns de Cleveland en su estreno, pero fue arrollado en casa por los Saints en la segunda semana y cayó, de nuevo en su campo, contra los Ravens

el pasado domingo.

Fue el pie de Greg Joseph en mantener a los Giants en la pelea. El pateador adelantó al Gran Azul en el primer cuarto y estuvo perfecto para que los neoyorquinos se aferraran al encuentro.

Tras el pase de touchdown de 15 yardas de Prescott para Rico Dowdle, Joseph recortó con el 6-7; respondió además al tremendo pase de anotación de 55 yardas que el

‘quarterback’ de Dallas dio a CeeDee Lamb con dos goles de campo que subieron el 12-14 al luminoso a mediados del tercer período.

Los dos TD de los Cowboys fueron los únicos de un partido dominado por las defensas.

En la segunda mitad solo se anotó con goles de campo. Brandon Aubrey conectó un fi eld goal de 60 yardas y otro de 48 yardas que fijó el marcador en el

definitivo 20-15. Pudo anotar otro que aliviaría a los Vaqueros en el tramo final. Fue su primer error desde 51 yardas o menos y eso entregó el balón a Daniel Jones con 32 segundos en el cronómetro para buscar una remontada épica. Se cerró la defensa texana y la interceptación de Oruwariye puso fin a las opciones de los Giants

(EFE)
La Estrella Solitaria
Rico Dowdle hizo efectivo uno de los dos pases de touchdown que lució el quarterback Dak Prescott en los dos primeros cuartos. (AFP)
Amani Oruwariye sentenció el partido con una intercepción y aseguró la victoria. (AP)

Yanquis conquista título del Este

Aaron Judge conectó su 58º jonrón para consolidarse como líder en las Grandes Ligas

ESTADOS UNIDOS.- Aaron

Judge conectó su 58º jonrón, para consolidarse como líder en las Grandes Ligas, y los Yanquis de Nueva York aseguraron su segundo título de la División Este de la Liga Americana en tres años, al aplastar por 10-1 a los Orioles de Baltimore.

Judge envió la pelota al otro lado de la barda por quinto juego consecutivo. Giancarlo Stanton remolcó cuatro carreras y conectó su 27º jonrón. El mexicano Alex Verdugo también conectó un bambinazo y Gerrit Cole superó en el duelo de lanzadores a Corbin Burnes, en un posible adelanto de la postemporada.

Judge y Stanton conectaron vuelacercas en el mismo juego por 14ª vez este año, empatando a Mickey Mantle y Roger Maris en 1961 con la mayor cantidad en la historia de los Yanquis Nueva York se aseguró el descanso en la primera ronda de los playoffs y la ventaja de local en una Serie Divisional de la Liga Americana al mejor de cinco a partir del 5 de octubre.

Baltimore, que aseguró un lugar en la postemporada al ganar el primer partido de la serie de tres juegos el martes por la noche, estará en una serie de comodín al

Evitan derrota histórica por tercera ocasión

Los Medias Blancas de Chicago evitaron una derrota récord por tercer día consecutivo, al vencer 7-0 a los Angelinos de Los Ángeles gracias a la gran actuación del lanzador Chris Flexen. Chicago mejoró a 39-120 con su barrida de tres juegos sobre Los Ángeles. Ha estado empatado con los Mets de Nueva York de 1962 por el récord moderno de derrotas en las Grandes Ligas desde el revés del domingo por 4-2 en San Diego.

Los

mejor de tres a partir del martes. Con su cuadrangular, Judge tiene 144 carreras impulsadas, la mayor cantidad en las Grandes Ligas desde las 146 de Ryan Howard

en 2008. También igualó la mejor marca de su carrera al conectar jonrones en cinco juegos consecutivos. En su última apertura antes de los playoffs, Cole (8-5) permitió

dos hits en 6 2/3 entradas, ponchó a cinco y dio una base por bolas, bajando su efectividad a 3.41. Para la franquicia, es la 21ª corona de la Este de la Liga Americana.

A los Medias Blancas les quedan tres juegos este fin de semana en Detroit. Terminaron su calendario en casa con un récord de 23-58. Flexen (3-15) ponchó a siete en 6 1/3 entradas en su primera victoria desde el 8 de mayo. El derecho no había ganado en sus 23 aperturas anteriores, récord de la franquicia. Los Ángeles cayó a 63-96 para establecer un récord de franquicia de derrotas en una temporada. Los Angelinos conectaron apenas seis hits , cinco de ellos ante Flexen. Lograron solo cinco carreras y 19 hits en la serie en Chicago (AP)

Tigres se impone a Rays y

ya olisquea

ESTADOS UNIDOS.- El elevado de sacrificio de Justyn-Henry Malloy en el octavo inning fue clave para que los Tigres de Detroit le dieron la vuelta a un déficit 3-0 y se acercaron a la postemporada con una victoria por 4-3 ante los Rays de Tampa Bay. Detroit , que ha ganado cinco en fi la, amaneció empatado con Kansas City por el segundo y tercer comodín de la Liga Americana, y con dos juegos de diferencia sobre los Mellizos de Minnesota. Los Tigres perdían 3-2 con un out en el octavo, pero Riley Greene dio un sencillo ante Garrett Cleavinger (7-5) y Matt Vierling recibió un boleto.

los playoffs

Colt Keith empató el juego con un sencillo remolcador y Malloy -el último jugador de posición en la banca de Detroit- vino a batear por Kerry Carpenter. Conectó un elevado hacia el central y Vierling superó fácilmente el tiro de José Siri.

Beau Brieske (4-4) se acreditó la victoria con dos innings de relevo. Jason Foley se encargó del noveno para su 27º salvado.

Por los Rays, los dominicanos Junior Caminero, Christopher Morel y José Sirí, todos de 4-0. El mexicano Jonathan Aranda de 4-1.

Por los Tigres , el cubano Andy Ibáñez de 3-0. El dominicano

Wenceel Pérez de 4-0.

(AP)

en Sacramento.

Los Atléticos se despiden del Coliseum con honores

ESTADOS UNIDOS.- JJ Bleday bateó un sencillo productor y realizó una atrapada estupenda en el jardín central, Shea Langeliers aportó un elevado de sacrificio, y los Atléticos de Oakland se despidieron con estilo del Coliseum, al superar 3-2 a los Rangers de Texas.

En el último partido de su historia en este parque, los Atléticos se llevaron el triunfo y ganaron la serie.

Bleday y Zack Gelof aportaron sendas joyas a la defensiva para beneplácito de los 46 miñ 889 fanáticos que llenaron el graderío

bajo un cielo azul de septiembre. El público se dividió entre la indignación y el cariño por sus Atléticos. Coreó lo mismo “vendan el equipo” que “vamos, Oakland”, en una tarde de nostalgia en el Coliseum, donde los Atléticos han jugado desde 1968 y donde protagonizaron momentos memorables.

En el noveno inning , dos fanáticos saltaron las vallas e invadieron el césped. Otros lanzaron botellas al jardín central y bombas de humo al prado derecho. (AP)

Brilla en uno de sus últimos duelos

ESTADOS UNIDOS.- Charlie Blackmon remolcó tres carreras y anotó otras tres en uno de los últimos juegos como profesional, Michael Toglia totalizó tres hits y dos impulsadas, y los Rockies de Colorado evitaron una barrida, con una victoria 10-8 sobre los Cardenales de San Luis.

Un doble de dos carreras del venezolano Ezequiel Tovar empató el juego y fue el catalizador de una octava entrada de cinco carreras para los Rockies , que habían perdido cinco de sus seis juegos anteriores.

Otro doble de Ryan McMahon al jardín derecho en el siguiente turno al bate remolcó

a Tovar para lo que sería la carrera decisiva del juego. El jonrón de dos carreras de Blackmon en la segunda entrada

fue el número 227 de su carrera de 14 años. Anunció el lunes que se retiraría al final de la temporada. (AP)

El elevado de sacrificio de Justyn-Henry Malloy fue clave en la 8ª. (AP)
Los de Oakland prevén jugar los próximos 3 años
(AP)
Charlie Blackmon

Eliminan a los favoritos en Tokio

Fritz, Ruud, Tsitsipas, Tiafoe y Auger-Aliassime caen como soldaditos en la primera ronda

JAPÓN .- El estadounidense

Taylor Fritz y el noruego Casper Ruud, primer y tercer cabezas de serie, el chileno Alejandro Tabilo, 22 del ranking ATP, y el argentino Tomás Martín Etcheverry, 35, se aperaron del Abierto de tenis de Tokio en la primera ronda y alimentaron la criba de favoritos, tras las derrotas en la sesión matinal del griego Stefanos Tsitsipas, cuarto cabeza de serie, del estadounidense Frances Tiafoe, séptimo, y del canadiense Felix Auger-Aliassime.

Taylor Fritz, finalista hace un mes del Abierto de Estados Unidos, sucumbió ante el francés Arthur Fills por 6-4, 3-6 y 6-3 en el que era el primer enfrentamiento entre ambos.

Fue la principal sorpresa de la jornada en el Abierto de Tokio, pero ni mucho menos la única.

Casper Ruud cayó en dos sets frente al australiano Jordan Thompson por 7-6 (5) y 6-1 tras una hora y 50 minutos de partido. Se trata de la cuarta ocasión en la que el número 29 del mundo elimina al tenista nórdico, noveno en el ránking de la ATP.

También se despidió de Tokio Tsitsipas, que fue superado en tres sets ante el estadounidense Alex Michelsen, procedente de la fase previa, por 4-6, 6-1 y 6-2, una prueba más de que el griego atraviesa un bache de resultados en esta última parte de la temporada, tras ser eliminado en primera ronda del Abierto de Estados Unidos y en segunda de Cincinnati y Montreal en sus anteriores apariciones en el circuito.

Tiafoe tropezó ante su compatriota Ben Nakashima, semifinalista la semana pasada en Hangzhou (China), por 7-5 y 6-3, mientras que Auger-Aliassime cayó ante el jugador local Yoshihito Nishioka, que entró al torneo por invitación y que se impuso por 7-6 (5), 3-6 y 7-6 (5).

Alejandro Tabilo perdió pero dejó una buena impresión ante el danés Holger Rune, sexto favorito, que sudó antes de imponerse por 6-2, 5-7 y 6-4. Más inesperada fue la derrota del argentino Etcheverry, en dos sets y ante un jugador procedente de la clasificación, el australiano Chrsitopher O’Connell (79), por 6-4 y 7-6 (5).

Sí cumplió el estadounidense Ben Shelton, octavo favorito, que venció a su compatriota Reilly Opelka por 3-6, 6-1 y 6-4

El británico Jack Draper, el estadounidense Tommy Paul y el checo Tomas Machac también sellaron su pase a segunda ronda. Los sudamerianos Tomás Etcheverry y Alejandro Tabilo se despidieron en las primeras de cambio en el ATP 500 de Tokio. De esta manera, el único latino que continúa en carrera es Mariano Navone, que comenzó con el pie derecho tras vencer a Luciano Darderi.

(EFE / Agencias)

El finalista hace un mes del Abierto de Estados Unidos, sucumbió ante el tenista francés Arthur Fills por tres sets de 4-6, 6-3 y 3-6. (POR ESTO!)

Sinner inicia la defensa de su corona

El vigente campeón del torneo de China avanza tras vencer a Nicolás Jarry

BEIJING .- El tenista italiano Jannik Sinner, vigente campeón y número uno del ranking mundial, venció ayer al chileno Nicolás Jarry por 4-6, 6-3 y 6-1 en la primera ronda del Abierto de China ATP 500, tras un partido de una hora y 55 minutos disputado en la pista central Diamond.

Sinner, de 23 años de edad, inició su defensa del título en el complejo pekinés con dificultades, cediendo el primer set ante un Jarry sólido en su servicio y que supo aprovechar las oportunidades para adelantarse en el marcador.

El chileno, número 28 del mundo, hizo valer su potente saque con 12 aces y se llevó la primera manga por 4-6.

En el segundo set, el italiano mejoró su rendimiento con el segundo servicio y, gracias a su brillante juego, logró igualar el partido con un 6-3.

El tenista ialiano se mostró dominante en los intercambios y aprovechó las debilidades de Jarry al resto para asegurar su ventaja en el partido.

El último parcial fue un monólogo de Jannik Sinner, que se adueñó del encuentro con un contundente parcial de 6-1.

La gran efectividad de su devolución fue clave para desarmar el saque de Jarry y sellar su pase a la siguiente ronda. El italiano, que ya se había enfrentado una vez con Jarry

en el circuito (con victoria para el chileno en 2019), espera ahora al ganador del duelo entre el ruso Roman Safiullin y el suizo Stan Wawrinka. Además de Jannik Sinner,

otras de las principales cabezas de serie en el torneo son Carlos Alcaraz (No. 3 del mundo), Daniil Medvedev (No. 5) y Andrey Rublev (No. 6). (EFE)

La Vela que ilumina el camino del Atlético

Bajo la dirección de Enrique, el conjunto playense se afianza como una opción sólida para la juventud

CANCÚN.- Sergio Contreras, presidente ejecutivo del Atlético Quintanarroense en la Liga TDP, destacó que la incorporación de Enrique Vela al club ocurrió bajo circunstancias inesperadas.

“Invitamos a Enrique para que nos apoyara en la formación de nuestros jugadores en la liga amateur . Nadie anticipó que, tiempo después, tendríamos un equipo en la Tercera División Profesional. Por eso, él fue la elección ideal para liderar el plantel”, explicó el directivo en entrevista.

Contreras también mencionó que, debido a esa situación, se iniciaron visorias en Cancún y Playa del Carmen para reclutar jugadores para el equipo. Los resultados han sido prometedores: en la primera jornada empataron 0-0 contra los Corsarios de Campeche, perdiendo posteriormente en penales (6-7); en la segunda jornada, vencieron a los Tigrillos de Chetumal 4-2, manteniéndose invictos hasta el momento. El club se compromete a apoyar a sus jugadores y sus familias, sin cobrar cuotas en su escuela de formación ni por la entrega de uniformes. “Estamos dedicados a respaldar a nuestros jugadores y a sus familias. No hay cuotas; no pagarán nada, ni por uniformes ni por el uso de la casa club”, enfatizó.

Añadió que el Atlético Quintanarroense surgió como una opción real para que la juventud de la entidad elija el camino del deporte, alejándose de malas influencias que, en ocasiones, los conducen por senderos equivocados. “Nuestra misión es apoyar a la juventud y nuestro objetivo es, a través del deporte, distanciarlos de los malos caminos e influencias”, enfatizó.

Actualmente, el club juega sus partidos de local en la cancha del Deportivo Viany, mientras acondicionan un campo en el Sindicato de Taxistas de Playa del Carmen, Lázaro Cárdenas del Río. “Por el momento, estamos en Cancún, pero esperamos que para finales de octubre ya estemos jugando como locales en nuestro nuevo campo de fútbol en la Unidad Deportiva del Sindicato de Taxistas del municipio de Solidaridad”, adelantó.

Este sábado a las 16:00 horas, el Atlético Quintanarroense recibirá a los Ejidatarios Bonfil en Cancún. “Este partido es muy significativo, ya que ambas escuadras son nuevas en la TDP. Además, Enrique Vela fue el fundador del equipo bonfileño en su inicio en la Tercera División Profesional, por lo que se enfrentará a su exequipo con un plantel repleto de jóvenes talentos”, destacó. Por su parte, Enrique Vela expresó que el desafío de la Jornada 3 de la Liga TDP, al enfrentarse a su antiguo equipo, será un reto interesante. “Contamos con la llegada de dos reconocidos estrategas, Jorge Licona y José Daniel Moguel. Son técnicos de experiencia, así que enfrentarlos en el Viany será una gran prueba para nosotros”, concluyó.

(Rafael García)

La llegada del timonel cancunense al equipo de Solidaridad se dio bajo circunstancias inesperadas, señaló un directivo del

El Calor funde a

CANCÚN.- El arranque de la serie de Plateros de Fresnillo en la Liga Nacional de Baloncesto Profesional estuvo cerca de ser un respiro, pero terminó convirtiéndose en un duro golpe. La quinteta dirigida por Sebastián Ginóbili cayó 65-62 ante el equipo de Calor de Cancún, quien se llevó la victoria en un encuentro reñido que mantuvo a los aficionados al borde de sus asientos.

Desde el inicio del juego, Plateros luchó para recortar una ventaja de doble dígito que los visitantes establecieron rápidamente. A pesar de la adversidad, el equipo local mostró una resiliencia notable, acercándose en el marcador y casi llevando el juego a tiempos extra. Sin embargo, el intento final de triple por parte de Tyrone White fue bloqueado por la defensa blanca de Cancún, sellando así la derrota para los Plateros.

Con esta caída, Fresnillo buscará recuperarse en el siguiente partido, programado hoy. Plateros tiene la oportunidad de ajustar su estrategia y buscar la victoria para mantenerse en la parte media de la tabla, en una liga donde cada punto cuenta. La afición espera que su equipo pueda capitalizar la experiencia del primer encuentro y ofrecer un mejor desempeño en la próxima contienda.

(Redacción POR ESTO!)

La quinteta caribeña doblegó por marcador de 65-62 al cuadro de Zacatecas.
club (Rafael García)

Los locales tienen una racha de tres partidos siendo derrotado, por lo que esperan que esta malaria se acabe este sábado, en su

Cancún FC busca volver a ganar

Las Iguanas quieren regresar al sendero del triunfo, cuando se mida a los Coyotes de Tlaxcala

CANCÚN.- Las Iguanas tendrán un difícil duelo en la Jornada 10 del Torneo Apertura de la Liga Expansión MX, al enfrentar al séptimo lugar de la tabla general el Club Tlaxcala, este sábado 28 de septiembre del 2024, en el Estadio Olímpico Andrés Quintana Roo, después de una mala racha de derrotas que suman tres consecutivamente, por lo que este duelo será crucial para las Iguanas cancunenses.

Ante ello, los dirigidos por Raúl Arce lucharán en casa con el cuchillo entre los dientes este sábado, a las de la 18:00 horas, con el objetivo de matar o morir en el intento para lograr la victoria ante los Coyotes

Las Iguanas tienen tres derrotas consecutivas que inició en la quinta fecha al perder 1-0 contra la Jaiba Brava en el Andrés Quintana Roo; más tarde en la sexta jornada cayeron 4-0 ante Venados Mérida en la casa de los yucatecos y en el

séptimo compromiso contra Leones Negros, cayeron 1-0.

Mientras que en las restantes; en la jornada 2 los cancunenses se impusieron a los Alteños de Tepatitlán Morelos por 2-0, en la fecha 3, derrotaron a Alebrijes de Oaxaca por 2-0 y en la cuarta empataron 0-0 contra Mineros de Zacatecas.

Resultados que ubican al club quintanarroense en la doceava posición, fuera de la zona de calificación a liguilla, por lo que a los de casa les urgen triunfos.

Sin embargo, la aduana de la “jauría” será difícil para los de casa, debido a que los dos recientes duelos entre ambos conjuntos; los de Tlaxcala de han llevado la victoria; en el primero que se dio en el Torneo Clausura 2024, las Iguanas cayeron 1-0 y el segundo en el Apertura 2023 de nueva cuenta los Coyotes se impusieron por 2-1.

Ante ello, los de casa se en-

Las estrellas se mostrarán en el Félix “Chano” Flores

CANCÚN.- El campo de beisbol bonfileño, Félix “Chano” Flores albergará el Juego de Estrellas correspondiente a su IV edición de la Liga de Prospectos de Quintana Roo (LPQR), que se celebrará este sábado 28 de septiembre con la participación de los seis equipos invitados a la postemporada.

Juego en el que participarán las novenas; Tucanes del ITC, Langosteros de Isla Mujeres, Tiburones de Holbox, Azulejos de Puerto Morelos y Chileros de Cancún. Desafío de las estrellas que se realizará en punto de las 10 de la mañana con las pruebas de campo,

para que a las 13:00 horas se cante el -Play Ball-, del duelo entre las selecciones de las Zonas Norte y Sur. Además, se realizarán las pruebas de campo, del tiro de los receptores al cojín de la Intermedia y el corrido de bases.

En el duelo homerun Derby serán ocho los bateadores que tomarán parte en el mismo, de los cuales dos serán de los anfitriones Ejidatarios. En el duelo estelar, la Zona Norte como la Zona Sur, tendrán en su roster un total de 31 peloteros, de los cuales nueve serán lanzadores.

(Rafael García)

cuentran entre la espada y la pared, al enfrentar a un equipo con el que no han conocido victoria, pero que tienen la urgencia de ganar, por los malos resultados que los preceden, por lo que será un duelo de matar o morir en el intento.

Sobre el duelo de este sábado 28 de septiembre, la entrada será libre para todos los que desean disfrutar del decisivo cotejo en las áreas generales.

Donarán al Oktoberfest

La directiva del Cancún FC dio a conocer que una parte de lo recaudado con la celebración del Oktoberfest (viernes 4 y sábado 5 de octubre) en el ‘Tourist Lounge del estadio Andrés Quintana Roo, será destinado a la Dirección de Bomberos de Benito Juárez la Asociación de apoyo animal Luum Balicheo.

(POR ESTO!)
La Liga de Prospectos de Quintana Roo realizará la IV edición del juego entre sus figuras. (POR ESTO!)
El campeón de campeones se encuentra fuera de puestos de liguilla.

ESTADIOS DE NFL SERVIRÁN COMO

REFUGIOS EN CASO DE CATÁSTROFES

La NFL y la Agencia Federal de Gestión de Emergencias lanzaron un programa para designar estadios de la liga que funcionen como refugios para desastres naturales. Los estadios que recibirán esta designación son el MetLife , hogar de Jets , el Lumen Field , casa de Halcones Marinos de Seattle, Washington y el Raymond James Stadium de los Bucaneros en Tampa, Florida. (Agencias)

AÑO DE PRISIÓN A

AFICIONADO QUE INSULTÓ A VINÍCIUS

ESPAÑA.- Un aficionado del club de futbol español Real Mallorca fue condenado a 12 meses de prisión y a tres años de prohibición de entrada a un estadio por insultos racistas hacia la estrella brasileña del Real Madrid, Vinicius Junior, y hacia el exjugador del Villarreal, Samuel Chukwueze. El acusado, que profirió insultos en febrero de 2023 durante los partidos contra el Real Madrid y el Villarreal en el estadio Son Moix “ha sido declarado culpable de dos delitos contra la integridad moral, agravados por haber actuado con motivaciones racistas”, escribió el club madrileño en un comunicado. El tribunal de Mallorca le ha condenado a doce meses de prisión en suspenso, una pena acompañada de una prohibición de entrar en un estadio de fútbol durante tres años, incluyendo los partidos organizados por la Liga de Futbol Profesional (LFP) y la Real Federación Española de Futbol (RFEF), según indica el Real Madrid

BELLO MOMENTO; MESSI CUMPLE EL SUEÑO DE NIÑOS ENFERMOS

Durante un evento montado por la organización benéfica Make a Wish, los futbolistas del Inter de Miami reciben una emotiva visita de un grupo de 23 menores con padecimientos graves

El argentino Leo Messi, el uruguayo Luis Suárez, el español Jordi Alba y otros jugadores del Inter Miami cumplieron los deseos de 23 niños con enfermedades graves de la organización benéfica Make a Wish y les recibieron en Miami en un evento de cuatro días organizado por el club rosado. Los niños de todo Estados Unidos y el extranjero, desde el Sur de la Florida hasta Texas y desde Canadá hasta Israel, cumplieron sus sueños de conocer a la plantilla de Inter Miami y a su capitán Lionel Messi. Previo al encuentro, Royal Caribbean organizó un día con aventuras inolvidables en el nuevo Icon of the Seas, catalogado por TIME como uno de los mejores lugares del mundo. Experiencias como estas ayudan a los niños a desarrollar la fortaleza física y emocional que necesitan para luchar contra una enferme-

Síguenos en nuestras redes

On line

dad grave. Un deseo puede ser un cambio radical que devuelva la alegría y la sensación de normalidad a la vida de una familia . “En el corazón del espíritu del lema de Inter Miami ‘Libertad para Soñar’ está la creencia de que perseguimos nuestros sueños con valentía y apoyamos a nuestros aficionados y a la comunidad para que cumplan los suyos”, dijo Jorge Mas, propietario gerente de Inter Miami CF “Aliarnos con nuestro socio principal Royal Caribbean y Make-A-Wish para hacer los sueños de estos extraordinarios niños realidad es un recordatorio inspirador de que el fútbol es

más que un juego”, añadió. El día comenzó con cada niño y su familia celebrando en su propio palco a nivel de la cancha, en donde fueron recibidos con regalos especiales, incluyendo una camiseta personalizada con su nombre firmada por el equipo, bebidas y comida, y otros detalles de Inter Miami CF.

La experiencia continuó con una visita privada a un entrenamiento de Inter Miami CF, en la que pudieron observar en exclusiva cómo se preparan los jugadores y el cuerpo técnico para un partido. Tras una conmovedora interacción con sus futbolistas favoritos, incluyendo a Messi, Luis Suárez, Jordi Alba, Drake Callender, Benjamin Cremaschi, entre otros, el día concluyó con una memorable foto de grupo, en la que se capturó un momento que todos los participantes atesorarán por siempre.

(EFE/Agencias)

HINCHADA DE LA ROMA ENMUDECE TRAS DESPIDO DE DANIELE DE ROSSI

La afición de la Roma mantuvo ayer el pulso a su directiva y, antes del partido, anunció con una pancarta gigante que guardará silencio durante los primeros 15 minutos del duelo ante el Athletic Club en la primera jornada de Liga Europa de futbol. Después del inesperado despido de Daniele De Rossi, gran parte de la afición de la Roma se plantó ante la directiva y estuvo ausente durante la primera media hora del duelo ante el Udinese, el primero del croata Ivan Juric, nuevo entrenador.

La gestión del despido del técnico y las discrepancias internas de la directiva condujeron a la dimisión de la CEO, la griega Lina Souloukou, aumentando el caos en una semana de desorden en el seno del club giallorosso . La protesta de la pasada semana no fue suficiente para la Curva Sud, como se conoce a la grada de animación y ultra del equipo, que con una pancarta gigante anunció que sigue en desacuerdo con las decisiones que toma el club.

“Continúa el desacuerdo... con 15 minutos de silencio”, se lee en la pancarta de los aficionados. Durante la previa, el Estadio Olímpico de Roma estuvo menos ruidoso de lo habitual y hasta el minuto 15 no podrá contar con la parte de la grada que más anima. (EFE)

REVENDEDORES SE ADELANTAN Y VENDEN BOLETOS PARA EL MUNDIAL

Si bien la Federación Internacional de Futbol Asociación (FIFA) no ha puesto a la venta los boletos para el partido inaugural de la Copa del Mundo 2026, ya hay una plataforma de reventa que ofrece entradas para el evento, el cual será en el icónico y majestuoso estadio Azteca de la Ciudad de México. El portal estadounidense, Vivid Seats, publicó la reventa de cuarenta boletos. No sólo del duelo inaugural, programado para el 11 de junio de 2026, también de cuatro compromisos más, a jugarse en el Coloso de Santa Úrsula

Síguenos en nuestras redes

On line

En el sitio no oficial, los precios para el partido inaugural van desde los 43 mil 907 pesos hasta los 123 mil 172 pesos. Sin embargo, los rangos no terminan ahí, puesto que sólo son las cifras sin cargos extra por servicio. También

hay entradas para compromisos que se celebrarán en otras sedes: el Estadio BBVA de Monterrey y el Estadio Akron de Guadalajara

Hasta el momento, la FIFA en su página oficial sólo tiene un registro, donde pide el correo de los aficionados para recibir información en el momento que se pongan a la venta las entradas, tentativamente a finales de 2025. Será hasta el 11 de junio de 2026 cuando el Coloso de Santa Úrsula se convierta en el hogar del partido inaugural del Mundial 2026. (El Universal)

Vendo Aveo 2015, 4 ptas., blanco, std., todo pagado, servicio al día, Tel. 998-350-7279. Regularización de autos y camionetas chocolate de EU, 998-136-0603, 998-534-4455, 998896-4149.

Vendo Jetta 2008, doctos. al día, color blanco, std., c/quemacocos. 998-215-6735.

Vendo Jetta 2016, buenas condiciones, todo pagado. 963-140-3392.

Pick Up Nissan 91, americana, 4 cil., std., $30 mil. 998-152-4238.

Vendo mi volchito rojo, mod. 1995, 20 mil pesos, jala bien, placas Q. Roo. 998-135-1011.

« TALLERES »

Mecánico automotriz, exp. en Urvans y Toyota Haice, Inf. 998-131-5548.

« MOTOCICLETAS »

Vendo moto Italika 2017, tiene papeles, $9,000 Inf. 998-203-0267 primero que llegue

« EN VENTA» « CASAS »

Vendo casa 2do. piso, sala, 4 recs., 3 baños, cocina, patio, terreno 10x30 Inf. 998-218-2386.

Vendo casa en Guadalupana $600 mil y lote con construcción en Reg. 227. 998-204-1690.

Vendo casa amplia Playa Carmen Mundo Habitad 115m², Inf. 998-385-3457.

Vendo Casa 2 recámaras en la Región 99, Informes al 998-120-4891 y 998-492-8383.

Vendo bonita casa en la Guadalupana, 2 recs., baño, cocina, estac. y patio, todo en regla. 998204-1690.

Te ayudo a rentar tu casa, cuarto o propiedad, mayores informes. 998-429-6201.

Vendo casa en Villas Otoch Paraíso, muy bien ubicada, cerca oxxo y chedraui. 998-100-0350.

Sm. 70 calle 22, remodel., servicios, todo cerca como se encuentra. 998-100-0350.

Vendo casa 2 recs., 1 planta, cochera, 2 autos, patio, Reg. 92, acepto créditos. 998-414-8921. Casita 3 recs., 2 baños, sala y comedor $750,000 acepto créditos, reg. 237 av. Tulum. 998-258-7215.

« EN VENTA» « TERRENOS »

Vendo terreno 825 mts. ruta cenotes, 8 minutos de la playa. Cel. 998-147-2474.

Terreno 10x50 escriturado, serv., poblado L. Vicario $300 mil otro ejido $100 mil. 998-1524238.

Vendo terreno 10x19, 1 cuarto, Col. 532 a un costado colegio San José, Cel. 998-218-2386.

Se vende Terreno, 1ra. av. Oriente lt. 5, mz. 30, Col. Chiapaneca, Inf. Sra. Esther 998-1163083.

Terreno 20x50m, escriturado, predial, agua, luz, frutales, centro poblado Leona Vicario. 998-152-4238.

Vendo terreno en Avante 7.70x23.18, cenote, acepto auto, Cel. 238-130-4438.

Leona Vicario 1 has., cercada, construcción, arboles frutales, pozos. 998-167-2137.

Vendo terreno Chetumal 12x30 cerca del mar y del centro, Inf. 998-939-2694.

Vendo terreno 3 has. a orilla de carret. km. 9, ruta cenotes Pto. Morelos. 998-143-8795.

Vendo lote 8,225 mts., ruta cenotes 100 mts. e. carr. km. 9, trato directo. 998-147-2474.

Préstamos dinero $$$ desde $100 mil hasta $900 mil sobre casas, terrenos, depto. etc. Inf. 998-279-1678.

Vendo terreno, baño material, luz, agua, Sierra Yuc. Cel. 998-191-2237.

Terreno en colegios 2,500m², esquina, todo en regla. Cel. 998-246-4679.

Venta de terrenos con buena ubicación y facilidades de pago, terrenos en Cancún. 998-3975424.

Venta terreno escriturado 10x22, 220m² limpio, pozo, agua, Alamos II, $450 mil. 998-3852533.

Se vende terreno Cuna Maya, todo liquidado 8x21, Cel. 998-161-0786.

Venta terrenos sobre av. uso mixto, escriturados, todo en regla con servicios. Inf. 998-2591361.

Terreno 40x50 m. escriturado, predial agua, luz, frutales centro, poblano Leona Vicario. Inf. 998-152-4238.

Vendo terreno 435m² av. la Luna escriturado a 3 cuadras de av. Fonatur, Inf. 998-270-6765. Vendo 80 has. c/derecho agrario, orilla de carret., zona agrícola ganadera, Inf. 998-2253146.

« EN RENTA» « CASAS »

Rento casa gde. sm. 229 cerca Cecyte, 2 recs., cochera, patio, $4,800 + dep.,Inf. 998-3295142.

4 recs., 3 baños, Av. Nichupte y la Luna, buenas condiciones. Inf. 998-577-2703.

« EN RENTA» « CASAS »

Matrimonio para cuidar casa en Pto. Morelos, más informes 998-147-2474.

Se renta casa en fracc. Pehaltun, 2 recs., sala, comedor, Inf. 998-157-0804.

Se renta casa grande de dos pisos. Inf. 998898-6693.

Se renta casa ubicada Sta. Fe, seguridad 24 hrs., 2 plantas, a/a, cocineta, estufa, Inf. 998204-0582.

Rento casa la Guadalupana Reg. 217, amueblada, Inf. 998-147-2447.

Rento amplia casa Villas del Arte, 3 recs., 2½ baños, estudio, a/a, privada $10,500. 998-1613399.

Se renta casa y local Reg. 101, Inf. 998-8695857.

Rento casa cto. Alcazares, Sta. Fe 3, 2 recs., $6,500, Inf. 998-412-6231.

Rento casita Villa del Caribe reg. 520 $2,000, Inf. 998-235-1239 Sra. Duran.

Hdas. del Cbe. casa 5 recs., 2 baños, zotehuela, patio, garage, balcón $6,500 men. renta/cambio 998-103-3563.

Rento casa resid. las Américas $8,000, incl. agua, internet, gas, a/a., cocina integral. 998134-0882.

At´n. foraneos rento casas y bodegas céntricas para 15/20 per., ahorrese gastos y hoteles. 998315-9810 Marisol.

« DEPARTAMENTOS »

Estudio amueblado, Bonampak 221, Sm. 4, entrada Zona Hotelera, mes o semana. 998147-2474.

Depto. amueb., 1 rec., amplio, aire acond., cocina, gas, internet, céntrico, agua, Informes. 998-123-1574, 998-886-5858.

Cuarto amplio, bien ventilado, baño, jardín, no cuarteria cerca Telebodega y Ruta 4. 998137-2756.

Rento cuarto, internet, todos los servicios incluídos, Inf. 998-197-6214.

Rento depto., estudios amueblados, limpios, seguros, por Bonampak y Chichén, no niños no mascotas. 998-200-0018.

Rento cuarto c/b, luz, agua, entrada indep., Reg. 103, traer copia INE $1,500. 998-4059892.

Rento cuarto con cama y ventilador $1,350 en Donceles 28 + Inf. 998-572-0036.

Rento depto. 2 recs., Fracc. los Almendros 2do. piso Sm. 40 av. Andres Q. Roo, Inf. 998-8952315.

Rento recámara c/baño, indep., cocina, ventilador, inc. internet, agua, luz x Imss 510, $2,800. 998-225-1749.

Rento estudios a/a, caseta seguridad, 1 amueblado en Quetzales $4,000, inc. internet, agua. 998-845-2309.

At´n. rento depto. 2 recs., amplias, Reg. 94 $3,000, planta baja. 998-135-8224.

Rento céntrico estudio 3 pzas., indep., c/cocineta, baño, cama, comedor x Mdo. 28. Inf. 998-218-1240.

Rento depto. tercer nivel, Paseo Kusamil 1 curto, semiamueb. o vacio, Inf. 998-350-6678. Rento depto., 2 recs., 3er. nivel, en Paseos Kusamil, Inf. 998-215-6735.

Rento cuarto amueblado, c/cocineta, baño, closet, indep., Nichupté. Inf. 998-102-7017. Rento habitación cerca ADO $1,000. Tel. 998219-7416.

Rento habitación entrada indep. c/baño, área de lavado, R. 94, San Antonio 2,300 men. 998225-1180.

Departamento 1 rec., sala, abaño, internet, av. Chichén 621 x Telmex. 998-129-3445. Rento depto. 2 recs., amueb., a/a, p.a., agua, internet Quetzales $4,500. 998-845-5209. Renta de cuarto amplio para soltero o soltera con ventilación, av. Chichén Reg. 97. 998-2161815.

Rento cuarto amplio para soltero, Av. Chichpen reg. 97 espaldas chedraui. 998-5051549.

Estudio céntrico $2,900 equipado, refri, internet, $3,200, 2 personas, céntrico, seguridad. 998-345-7766.

« EN RENTA» «OFICINAS/COMERCIOS»

Venta bodega amplia, 2 plantas, con o cina, Unidad Morelos, baños, dos entradas, Inf. 998886-5858, 998-214-5433.

Rento local comercial ubicado entre Ruta 5 y Talleres $4,000 pesos. Inf. 998-110-4123.

Local reg. 94 ruta 4 $3,000 + puesto. Inf. 998409-8879.

Se renta local 5x17 en Sm. 59 Kabah con Portillo oportunidad. 998-220-5003.

Rento local en el centro de Cancún, super precio, Inf. 999-297-6754.

Se solicita ayudante para trabajo en general. 998-156-9252.

Esto es para ti, mejora tu salud y situación económica, Inf. 998-494-3638.

Busco ampleo para cuidar persona de la tercera edad. 998-120-0982.

Busco empleo Ing. Industrial supervisión, horario disponible. 998-186-6499 Mario.

Se solicita personal para lavandería con experiencia. 998-405-4167.

Busco señora para local de comida, sepa cocinar, Inf. 998-197-6214.

Sol. asistente de ofna., conocimientos de excel y word. 998-845-6385 Sr. Wilberth.

Casa Mallorca sol. camarista y cocinero para cafetería, Inf. Av. Puertos 82, sm. 31 Cel. 998135-1385.

Solicito señora para trabajo en casa, acompañar a señor a rehabilitación, urgente. 998-8207837.

Encargado limpieza y mantto. pequeño edicio, lun/sab., $1,300 semanal, trabajador de 8:30 a 2:30, responsable. 998-845-3898.

Inscripción y venta de producto Terramar en Cancún, P. del Carmen, Tulum. Inf. 998-4296201.

Inicio cursos corte y confección, ores de fomi, moños artesanales. 998-380-7207.

Quieres ganar un extra desde casa, yo te ayudo, no importa donde vivas habla. 998-133-8603. Invierte en un negocio con muy poco dinero, yo te digo como, resultados pronto. 998-1710312.

Psicologa atención especial y personalizada, ansiedad, depresión. Citas 998-810-2152.

Albañil, herrero, pintor, aluminio, plomero, electricidad, impermeabilización. 998-7042080

Plomero eléc. 24 hrs., cortocircuitos, drenajes y tubería agua tapados, boiler, fugas/agua. 998205-7407.

Despacho abogados, con ictos fam., divorcios, pensiones, custodia, herencias, contratos, Citas 998-732-3556.

Rótulos, pinto casas, fachadas, edif., piscinas, barniz, imperm., 50 años, calid. garantizada, b/ precio. 998-844-3344.

Aire acond., electricidad, refrigeración, servicio e instalación de minisplit, repar. de electrodómesticos. Tel. 998-131-6085. Traspaso concesión de combi Cuzamil - L. Portillo, excel. ingresos, Cel. 998-141-4903 Ramírez.

« SERVICIOS » « PROFESIONALES »

Trabajos urgentes tablaroca, pasta, pintura, todo en decoraciones, 998-137-6028 Benigno Jácome.

Reparación del tejido de muebles, mecedoras en ojo de perdiz, petatillo. 922-184-8401. Consulta psicológica económica en línea, a domicilio y presencial, Dra. María Hdz. Cita whatsapp 998-317-0169. Psicóloga atn. especializada “la importancia de tu salud emociona” 998-810-2152. Trabajos de plomeria, electricidad, aires acond., bombas de agua. 998-180-1433. Carpintero pintor, reparo tus muebles, hechura de closets, puerta de tambor, barnizamos. 271-4583, 998-134-2852

Servicios plomería, electricidad, trabajos garantizados, instalación venti, boiler, estufa, tinacos. 998-171-0312.

Servicio express de plomería y electricidad, trabajos 100% garantizados. Inst. de mini split. 998-141-3208

Impermeabilizo techos mal estado, garantizado producto ecológico $95m². 998-203-2232. Divorcios, pensiones alimenticias, custodias, contratos, denuncias, Citas al 998-220-7105, Lic. De los Santos.

Albañil colocación de pisos, construcción, pintor, remodelación, 998-183-0785 Sr. Armando. Proyectos arquitectónicos del paisaje y proyectos, ampliación, remodelación, obra nueva. 998-143-3306.

Si lo quemadores de su estufa ya no encienden los destapo sólo $300 Giovanni. 998-189-9458. Tiene problemas de cortos y fugas de agua, llame nosotros lo resolvemos al 998-147-4551. Reparación refris y lavadoras, todo a domicilio, llama al 998-166-6709 Sr. Valerio. Reparación y venta de pantallas lg y samsung, lavadoras y más, Inf. 998-200-7652 Ing. Rafael. Investigador privado casos in eles, tomamos fotos, video, seguimiento, discreción, Inf. 998303-3934.

Si estas perdiendo tu casa por falta de pago, te asesoramos no perderla. 998-202-3086. Plomero electricista 24 hs. Urgencias, fugas de agua y gas, drenajes y tub. tapados, bombas, boilers, 998-205-7407

Pozos para agua absorción agua pluvial, tierras físicas, sondeos, hablanos. 998-307-7432, 984241-3385.

Contrata ahora 80mbps 6 meses, diferido en 6 meses, tv adicional 3 meses. Inf. 998-158-4464.

Vendo permiso parque marino 6 pax., 998219-7566.

Vendo manguera de 15 mts p/jardín y otros usos, buen precio. 922-184-8401. Vendo máquina cantiadora carpintería, 6pulgadas, motor 1 caballo, al 100%, costo $6,500. 998-171-5355.

Venta de garage, lavadoras usadas, productos COVId kn-95, tapetes, a.tomizadores, caretas, etc, excel. precios. 998-187-4993. Se vende aire acond. York, opción reparación usado, muy buen precio. 998-161-5470.

Compro escalera aluminio 4 mts. aprox., buen estado y precio. Cel. 998-240-0300.

Martillo monteber para retroexcavadora, rotomartillo en excelentes condiciones. 998-8445597.

Compro libros, revistas, discos, películas, posters, etc. Libreria D´Ely, Villas del Sol. 984198-3531.

Vendo bici, estructura p/remolque, preciosa vajilla artesanal, baratos. Inf. 998-147-2160.

Vendo guitarra epiphone seminuevas $4 mil. Tel. 998-484-2291.

Vendo replica de la primera torre aeropuerto de Cancún. Cel. 998-118-1175.

Cancún, Q. Roo, viernes 27 de septiembre del 2024

Regreso

Ayer, la banda británica de rock The Cure estrenó el sencillo Alone, su primera canción en 16 años, y anunció un nuevo álbum, que llevará por título Songs of A Lost World

y

Presentan Estado de silencio en el Festival de Biarritz, Francia

 Página 54

composición,

Tilda Swinton entrega el Premio Donostia a Pedro Almodóvar por su carrera

 Página 54

En el cumpleaños de Rosalía, captan a su novio besando a otra

 Página 55

 Página 55
El disco saldrá a la venta el primero de noviembre
la
producción, mezcla y los arreglos del proyecto corren a cargo de Robert Smith. (Agencias)

Estado de silencio llega a Francia

El documental de Santiago Maza, producido por Diego Luna y Gael García, se presenta en Biarritz

Para defender “el derecho a informar y saber” en México, uno de los países más peligrosos del mundo para la prensa, el documental de silencio, presentado en el Festival de Biarritz, en Francia, da voz a periodistas independientes amenazados.

El documental, estrenado en junio en el Festival de Tribeca, fue dirigido por Santiago Maza, que sigue con su cámara a cuatro periodistas mexicanos amenazados tanto por grupos criminales organizados como por las fuerzas de seguridad o responsables públicos.

“Esta película la empezamos a hacer hace cinco años con la esperanza de que no fuera necesaria hoy”, explicó en el festival el actor Diego Luna, productor del documental a través de su productora La Corriente del Golfo con Gael García Bernal.

La situación sigue vigente: cuatro periodistas han sido asesinados desde principios de este año.

Según el documental, 163 periodistas han sido asesinados en México desde el año 2000, y 32 han sido o están desaparecidos.

Reporteros Sin Fronteras menciona la cifra de más de 150 periodistas asesinados en el mismo periodo.

Honran a Pedro Almodóvar con el Premio Donostia

“El cine me lo ha dado todo”, afirmó un emocionado Pedro Almodóvar al recibir este jueves el Premio Donostia que le entregó el Festival de San Sebastián, por una carrera que lo ha llevado a ser el cineasta español más reconocido a nivel internacional.

“Para mí el cine es una bendición o una maldición, no intuyo otro tipo de vida que el de escribir y dirigir sin pausa”, aseguró el realizador manchego de 75 años, quien dijo haber sentido “tantas emociones” desde su llegada a la ciudad vasca, en el norte de España, que “casi es imposible realmente disfrutarlo sin romperse”.

El galardón se lo entregó la actriz británica Tilda Swinton, quien reconoció la “contribución sin igual a la cultura mundial” de Almodóvar.

El Donostia era uno de los pocos galardones que le faltaba a Almodóvar, quien tiene dos Óscar , cinco Premios Goya , cinco Bafta , cuatro César y el Premio Nacional de Cinematografía de España, entre muchos otros.

A principios de mes ganó el León de Oro de Venecia con su primer largometraje en inglés La habitación de al lado (The Room Next Door ), protagonizado por Swinton y Julianne Moore. (Agencias)

refugiarse en Estados Unidos. Reporteros Sin Fronte, la concentración de medios es muy alta en México, donde grandes conglomerados poseen numerosos títulos, lo que dificulta la existencia de entidades independientes y lleva a más periodistas a publicar su propio trabajo en redes sociales.

“De lo que más hablan los periodistas en México es de una soledad (...) que es completamente injusta”, explicó el actor y productor.

Se aprobó en 2012 un mecanismo de protección a periodistas que resulta insuficiente, según los autores del documental.

El mes pasado, el fundador del El Hijo del Llanero Soli, Alejandro Alfredo Martínez Noguez, fue asesinado pese a estar bajo la protección del Estado mexicano desde 2023, después de un primer intento de asesinato.

El sistema de protección lo que hace es extraer al periodista del lugar de peligro. “Y además está rebasado”, denuncia el productor del documental. Y hay periodistas que pidieron la protección del sistema y no obtuvieron respuesta.

Festival de Monterrey reconoce a La Zabaleta

El Festival Internacional de Cine de Monterrey celebra su vigésima edición del 25 de septiembre al 2 de octubre del 2024, consolidándose como el evento cinematográfico más relevante del Norte de México.

Dirigido este año por Diana Cobos, Gerente General del festival, presenta una programación con estrenos exclusivos para México y películas que han sido reconocidas en festivales como Cannes, la Berlinale, Tribeca y Sundance. Uno de los eventos destacados de esta edición será el Homenaje Ícono

del Cine Mexicano, que reconocerá la trayectoria de Susana Zabaleta. Como parte de este reconocimiento, se proyectará Sobrenatural (1996), dirigida por Daniel Gruener y con la dirección de fotografía de Rodrigo Prieto. La proyección se realizará el primero de octubre en el Teatro del Centro de las Artes en Monterrey. Este año, también introdujeron el Premio a la Trayectoria Ascendente, que busca destacar el trabajo de cineastas emergentes. La primera galardonada será Paloma Petra. (Agencias)

Barbra Streisand aprueba su documental

Un año después de contar su historia en unas memorias de mil páginas, Barbra Streisand aprobó un documental de varias partes sobre su vida, que será dirigido por su compañero ganador del Oscar, Frank Marshall. El documental, anunciado el jueves por Sony Music Vision, aún no tiene título ni fecha de estreno. Incluirá videos, fotografías y grabaciones de audio poco vistos de los archivos personales de Streisand. El documentalista ganador del Oscar Alex Gibney, cuyos numerosos créditos incluyen películas sobre Paul Simon y Steve Jobs, será el productor. “Durante años he estado pensando en la mejor manera

de compartir la gran cantidad de contenido que he estado almacenando de forma segura en mi bóveda”, dijo Streisand, de 82 años, en un comunicado. “Estas películas, fotografías y maestros de la música, muchos de ellos nunca vistos ni escuchados por el público, contienen algunos de mis recuerdos más preciados. Estoy muy contenta de que el productor Alex Gibney y el director Frank Marshall hayan aceptado emprender este viaje conmigo”. Marshall dijo que la película de Streisand “ilustraría por qué se ha convertido en un ícono perdurable para una audiencia global de todas las generaciones”. (Agencias)

Tilda Swinton reconoció la aportación del cineasta a la cultura.
Proyectarán Sobrenatural (1996).

The Cure retoma los micrófonos

La banda británica lanza Alone , su primera canción en 16 años, y anuncia un nuevo álbum

El próximo

La banda británica de rock

The Cure lanzó este jueves Alone (Solo), su primera canción en 16 años, y anunció un nuevo álbum, que llevará por título Songs of A Lost World (Canciones de un mundo perdido) y saldrá a la venta el primero de noviembre.

“Este es el fi nal de cada canción que cantamos. El fuego se redujo a cenizas y las estrellas se apagaron con lágrimas”, dicen los de Crowley en el inicio de este nuevo tema inédito, de casi

siete minutos de duración y con gran presencia instrumental.

Una estética en escala de grises, con la escultura Bagatelle de Janez Pirnat (1975) como protagonista, acompaña al conjunto integrado por Robert Smith, Simon Gallup, Jason Cooper, Roger O´Donnell y Reeves Gabrels en Songs of A Lost World , el que será su decimocuarto álbum de estudio y el primero desde 4:13 Dream (2008).

En las últimas semanas, The

Shakira la pasa mejor

está Soltera

Shakira lanzó su nueva canción Soltera, un tema que tiene influencias afrobeat y que espera se convierta en un “himno femenino”, informó la disquera Sony Music

“Ya salió soltera !”, escribió Shakira en sus redes sociales, donde publicó fotos con la brasileña Anitta, la dominicana Natti Natasha, la mexicana Danna, la venezolana Shannon y Winnie Harlow. Justamente, explicó la disquera en un comunicado, “la canción ya ha generado gran expectativa en las redes sociales tras la grabación del video en LIV en Miami, con cameos de Winnie Harlow, Anitta, Danna Paola y deo será lanzado próximamente”, agregó la información.

La artista de 47 años publica esta canción apenas unas semanas después de ser nominada a tres Latin Grammy de Álbum del Año por Ya No Lloran

pretación de Música Electrónica Latina por Bzrp Music Sessions, Vol. 53 (Remix de Tiësto) Igualmente, la colombiana iniciará en noviembre su gira por Estados Unidos y Canadá, que in- cluirá conciertos en Los Ángeles,

Cure ya había dejado caer la inminente salida de su nuevo trabajo discográfico con unas vallas publicitarias crípticas en ciudades como Madrid, Roma o Nueva York, así como con la publicación de unas coordenadas de una torre en Blackpool (Reino Unido) y un póster en el bar en el que hicieron su primer concierto Según publica la banda en su página web, la composición, producción, mezcla y los arreglos del nuevo álbum corren a cargo de Ro-

bert Smith, el cantante del grupo, junto a Paul Corkett, y fue grabado en los estudios Rockfield en Gales.

El anuncio de este nuevo disco sucede pocos días después de que se diera a conocer que el teclista de The Cure Roger O´Donnell revelara que había sido diagnosticado con una forma agresiva de cáncer sanguíneo, una enfermedad que también sufrió el excomponente de la banda Andy Anderson, fallecido en 2019. (Agencias)

Halsey ha compartido que fue hospitalizada recientemente debido a una convulsión. La cantante de 29 años, famosa por temas como Without Me, actualizó a sus seguidores a través de un video en Instagram, donde apareció junto a su prometido, Avan Jogia, en el hospital. Con un toque de humor, la artista comentó: “Feliz Día de la Visibilidad Bi atrasado. Este año lo celebro en el hospital con un hombre a mi lado por razones legales (es una broma)”.

La cantante, que ha sido franca sobre sus problemas de salud crónicos, respondió a un fan en X diciendo: “¡Estoy en casa del hospital después de unos días, así que una victoria es una victoria!”. Luego, con humor, agregó: “¡Tuve una convulsión! ¡Muy aterrador! ¡No lo recomiendo!”.

Entre Paréntesis, y Mejor Inter-

Rosalía es traicionada por el actor Jeremy Allen White

Hay un dicho que dice: “Afortunada en el dinero, desafortunada en el amor”, y parece que esto es lo que le está sucediendo a Rosalía.

A través de diversos medios de comunicación internacionales, se han compartido imágenes sobre un presunto romance entre el modelo Jeremy Allen White, quien fue relacionado con la intérprete de Con altura Rauw Alejandro, , Molly Gordon Cabe mencionar que las fotos fueron tomadas el miércoles 25

de septiembre, el mismo día en que la española estaba celebrando su cumpleaños. Si bien ni Rosalía ni el actor han ofrecido detalles al respecto, para los fans las imágenes son muy claras y marcan el fi n de la relación que comenzó en 2023. Además, White tuvo otro gesto hacia Molly; luego del beso de “piquito” que compartieron, le abrió la puerta de su auto para que se acomodara en los asientos. (Agencias)

Halsey ha sido diagnosticada con diversas enfermedades crónicas, incluyendo lupus eritematoso sistémico (LES) y un raro trastorno linfoproliferativo de células T, lo cual reveló en junio de 2022. Además, la activista, que cumplirá 30 años el 29 de septiembre, también ha sido diagnosticada con síndrome de Ehlers-Danlos, síndrome de Sjogren, síndrome de activación de mastocitos (MCAS) y síndrome de taquicardia ortostática postural (POTS). A pesar de estos desafíos, Halsey ha encontrado alivio en la creación de casas de muñecas en miniatura, un pasatiempo que descubrió mientras enfrentaba sus enfermedades autoinmunes. (Agencias)

La famosa vive con varias enfermedades crónicas.

Infografía | Odeth Vázquez

DreamWorks ha superado todas las expectativas con Robot Salvaje, una película a la altura de clásicos como Wall-E y El Gigante de Hierro

Con su estreno este viernes 27 de septiembre en todas las salas de cine, se espera que llegue al corazón del público como la mejor cinta animada del año y una de las más destacadas en tiempos recientes. Aunque muchas producciones de animación siguen dirigidas al público infantil, Robot Salvaje aborda temas profundos y conmovedores que pueden resonar en cualquier espectador.

Una travesía inesperada

La historia sigue el viaje de Roz, un robot que naufraga en una isla deshabitada y debe aprender a sobrevivir en un entorno hostil, desarrollando vínculos con los animales y convirtiéndose en madre adoptiva de un pequeño gosling huérfano.

Robot Salvaje es uno de los mejores proyectos de DreamWorks, tanto por su narrativa como por su deslumbrante estética visual. Además de ser divertida, toca temas profundos como la maternidad y el daño ambiental; aborda la amistad y la diversidad de forma natural, con una animación cautivadora que deja una huella visual. Es una obra maestra y una de las mejores adaptaciones literarias a la pantalla grande de los últimos años.

La casa productora DreamWorks aspira a cautivar a chicos y grandes con una emocionante historia animada de amistad y supervivencia

CURIOSIDADES

Algunos datos que debes conocer sobre Robot Salvaje

1. Adaptación literaria: Robot Salvaje está basada en el exitoso libro The Wild Robot de Peter Brown, un autor e ilustrador reconocido por su habilidad para mezclar temas profundos con narrativas accesibles para jóvenes lectores. Es la primera adaptación de su trabajo al cine, marcando un gran salto desde la literatura infantil al cine animado.

2. Inspiración en la naturaleza: Peter Brown, el autor, ha dicho en entrevistas que su inspiración para escribir la historia vino de su amor por los animales y el deseo de imaginar cómo sería si un robot tratara de integrarse en un mundo natural.

3. Innovadora animación: La combinación de técnicas de animación

digital y efectos visuales clásicos otorga una estética única, haciendo que algunas escenas se asemejen a cuadros en movimiento en que pareciera que los paisajes son pintados a mano.

4. Desarrollo emocional: la evolución emocional de Roz

que aprende a convivir con los animales de la isla, sus lazos afectivos y, eventualmente, el rol de madre adoptiva.

Kit
Connor Brightbill
Fink
Pedro Pascal
Longneck
Bill Nighy
Vontra
Stephanie Hsu
Robot Salvaje
Dirección y guión: Chris Sanders
Género: Ciencia ficción, aventuras, animación y drama
Basada en: The Wild Robot de Peter Brown
País: Estados Unidos
Mark Hamill Thorn
Ving
Rhames Thunderbolt
Lupita Nyong’o Rozzum

Cultura

La Morena celebra herencia afro

La cantante Alejandra Robles tendrá un concierto y algunas conferencias en el Festival Cervantino

Hace más de 15 años, cuando empezó su carrera, la cantante Alejandra Robles se presentaba a sí misma como La Morena ciéndose abiertamente como parte de la población afromexicana. Sin embargo, todo el mundo la de a loca, porque supuestamente “en México no había negros”.

Hoy la propuesta de Alejandra Robles se convirtió en una representante de las músicas afromexicanas, con presentaciones en algunos de los escenarios más importantes del país y el extranjero, entre ellos el Festival Cervantino, donde cantará por segunda ocasión, además de impartir conferencias sobre negritud y entrevistas a integrantes de los pueblos de su natal Oaxaca.

“Cuando yo decía eso la gente se reía y lo negaba, pero yo me mantuve firme. Y ahora me da tanto gusto que vaya siendo reconocida la tercera raíz. Varios hemos sido los que hemos puesto nuestro granito de arena, pero también lo ha sido la gente en sus comunidades, los mismos afrodescendientes los que han luchado”, comenta la cantante en entrevista.

“Desde mi perspectiva, y siempre lo digo, ser afrodescendiente no tiene que ver sólo con el color de la piel, sino con una conexión con tus raíces y tus ancestros, de tu forma de vida. Así que si hay alguien que se identifica como afromexicano, que lo diga porque es importante que entre más afrodescendientes seamos en el país, serán más evidentes los avances”, agrega.

Originaria de Oaxaca, la artista planea llevar “lo mejor de su tierra y su gente” al encuentro artístico que habrá en Guanajuato. (Agencias)

Presentan a ganadores del Fondo Editorial

Las nueve obras galardonadas en 2023 tendrán introducciones públicas en los siguientes meses

El próximo 15 de octubre, la cantante se presentará en el Cervantino, en la Explanada de la Alhóndiga de Granaditas, como parte del talento del estado de Oaxaca.

Sobre lo que tiene planeado compartir para esta ocasión dijo que será lo más “afromexicano”, porque considera que cada uno de los artistas que se presentan en este encuentro artístico “llevan lo mejor de su tierra y su gente”.

“La verdad es que estoy muy contenta de volver a estar ahí. Estoy escogiendo las piezas que tienen ese orgullo por la piel morena, las que nos hablan del estilo de vida de los pescadores, de cómo son las navi- dades en la costa. Piezas de Álvaro Carrillo y otras que yo también he ido componiendo”, dice la cantante, quien pide que se haga reconocimiento de la importancia de las comunidades afrodescendientes.

“Los africanos llegamos a México para hacer muchos trabajos pesados. Varios de los edificios que fueron hechos por la conquista fueron hechos, sí por indígenas, pero también por los negros africanos esclavos”, agrega. (Agencias)

El impulso al trabajo literario y el fomento a la creación artística son parte de los objetivos que persigue el Fondo Editorial del Ayuntamiento de Mérida, que en la edición 2024 obtuvo buena respuesta a la convocatoria.

Como se recordará la invitación a participar se mantuvo abierta del 12 de junio al 6 septiembre para que las escritoras y escritores aplicaran con obra inédita. Se recibieron 29 trabajos en los géneros de crónica, cuento, dramaturgia, ensayo, novela, periodismo de investigación y poesía.

En los próximos días el jurado calificador tendrá la tarea de evaluar las obras recibidas y los resultados se darán a conocer a finales del mes de octubre.

Con esto en mente, a fin de continuar el apoyo a las producciones artísticas, esta semana y lo que resta del año se realizarán las primeras presentaciones de los nueve libros ganadores de la edición 2023 del certamen literario.

La primera presentación será el día de hoy, a las 19:00 horas,

en el Centro Cultural José Martí con el texto En modo avión de Paul Antoine Matos, que narra un viaje por el continente americano que logra observar desde

su particular óptica dos mundos que aparentemente son opuestos: el gran imperio de los últimos siglos, Estados Unidos, y la sombra de la utopía comunista, Cuba.

Las presentaciones continuarán en octubre, noviembre, diciembre y enero, hasta revelar los nueve textos ganadores del 2023. (Agencias)

58 Cultura

De Alva revela historia secreta

Todo lo que no sabemos indaga en las actividades de la Liga Comunista 23 de Septiembre

María de Alva (Monterrey, 1969) revela una historia familiar y al mismo tiempo aborda el tema del grupo guerrillero Liga Comunista 23 de Septiembre en los años 70 en Todo lo que no sabemos, novela publicada por Hachette Literatura.

En entrevista, la escritora cuenta que todo inició cuando su prima Gabriela Villarreal Levy le envió unas cuartillas que contaban la historia de la muerte de su padre, Gerardo Pilar Villarreal Garza, asesinado en Monterrey en 1974, entonces supo que tenía que contar la historia.

“Es un texto que traté de escribir antes pero no pude. En mi familia este caso existió, no todo lo de la novela es exactamente la vida real, pero en esencia sí: tuve un tío asesinado en los 70 y el problema que se presentó en la familia es que todo eso se volvió como un sitio de silencio, no sé si por el dolor extremo, por la vergüenza, por la maledicencia social, pero de niña recuerdo que ni foto había de él”.

Todo lo que no sabemos es una novela coral con una narradora que rescata la historia, una mujer con diagnóstico de cáncer y un detective que comienza hacer una investigación, todo alrededor del grupo guerrillero Liga Comunista 23 de Septiembre.

Para De Alva, el silencio en torno a hechos dolorosos “no quita la herida, simplemente se queda ahí, a lo mejor dormida o latente, pero no desaparece. Creo que hablarlo y decirlo es desacralizarlo y de alguna forma tomar en nuestras manos el hecho, en lugar de que el hecho te quite todo a ti ”.

La entrevistada comenta que los años 70 eran otros tiempos, una épo-

ca en que se ocultaba prácticamente todo y en la que existía la idea de la “santa familia mexicana”: “El asesinato era como algo deshonroso, así se veía, quizás la gente de hoy en día, más joven, no lo puede entender, pero así era como se manejaba”.

En la novela, la escritora dice:

“Esta historia tiene balas y armas de fuego, policías y guerrilleros, un detective con un portafolios negro, jóvenes desaparecidos, algunas notas periodísticas, un venado cola blanca entre los matorrales, un avión secuestrado y muñecas sobre una repisa, un coche rojo robado, una ciudad que se muere de calor o de frío, un cáncer que es metáfora pero también muy verdadero”.

El grupo guerrillero Liga Comunista 23 de septiembre operó en Monterrey, de hecho, antes de la muerte del tío de la escritora, el grupo asesinó al empresario Eugenio Garza Sada en un intento de secuestro.

“No sólo fue en nuestra ciudad, también en Ciudad de México y Guadalajara, pero los guerrilleros también fueron perseguidos por el Gobierno, torturados, desaparecidos y asesinados”.

Durante muchos años, los documentos sobre ese movimiento estuvieron ocultos, hasta que en el año 2000 se abrieron archivos y empezaron a funcionar las comisiones de la verdad sobre hechos históricos. A pesar del tema y las investigaciones, María de Alva comenta que no quería hacer sólo una novela policiaca o detectivesca.

“Para mí era muy importante hablar de las víctimas, que son la familia y los guerrilleros. Cuento algunas historias de ellos o los deudos y éste

es el meollo del asunto: si no hablamos de las víctimas y de sus familias no estamos resarciendo nada”.

En la novela hay varias indagaciones sobre los niños que no entienden bien lo que pasa a su alrededor, la mujer que tiene cáncer, la narradora (quien vive en incertidumbre y trata de reconstruir la historia) y el detective que no encuentra una sola verdad.

“Es una novela que tuve que construir desde la indeterminación porque era lo que había. Los 70 no se concentraron solo en Monterrey, hubo enfrentamientos entre la guerrilla y el Gobierno,

hubo desaparecidos, torturados, asesinatos en la calle. Todo el país lo padeció y creo que se trata de destapar una historia nacional, no sólo es una historia de Monterrey”.

La autora dice que hasta ahora no se había hablado mucho de este periodo y de la guerrilla, que fue un movimiento grande y del que ahora se ha descubierto mucha información.

“Ciertamente se desenmascaran en la novela muchas de esas ideas preconcebidas del Monterrey industrial, del Monterrey pujante, a través de este como lado B o lado oscuro de la historia de

Miguel Ángel Juárez publica novela sobre caso Ayotzinapa

rios, esta novela lleva al lector desde el presente, hasta tiempos previos al 26 de septiembre de 2014, cuando ya habían sucedido intentos de desapariciones forzadas contra estudiantes; pasa por la noche del ataque, las primeras indagatorias y la forma en que se estructuró la llamada verdad , así como la explosión del movimiento social en exigencia de la localización de los desaparecidos.

Un trabajo con el que el autor, tras cotejar las distintas investigaciones oficiales que se han abierto sobre el caso, buscó dar sentido al gran relato de lo que pudo haber sucedido esa noche, echando mano de herramientas de la literatura.

“Uno de los problemas es que se dinamitaron las indagaciones porque no hay una investigación madre Hay muchísimas investigaciones de las que estuvieron haciéndose causas penales de distinta naturaleza, de tal manera que va a ser muy difícil que se pueda avanzar, aunque yo creo que se puede retomar si se tiene

la voluntad”, menciona el periodista. Se trata de un texto novelado, aunque aclara que realizó una investigación profunda, en documentos oficiales y otras investigaciones.

“Si no lo abordaba desde la literatura quedaban muchas lagunas y la investigación habría tenido que ser mucho más complicada. Si decenas de investigadores, de personas, profesionales de las áreas no han podido construir una narrativa única, hacerlo desde la perspectiva de dar la visión más completa de lo que pasó era muy complicado”.

“Es por eso que recurrí a la literatura, como una forma de ser útil a la sociedad, porque sí intento ser objetivo en los hechos. Yo pienso que el periodismo tiene sentido si está al servicio de la sociedad, pero el periodismo te obliga a ser muy preciso y no cometer errores de hecho. Y en un caso tan complejo es muy fácil cometerlos, por eso decidí dejarme una pequeña licencia”, finaliza.

la ciudad. También cuento que el único avión que se ha secuestrado hasta ahora en el país fue por parte de un grupo guerrillero”. María de Alva opina que muchas veces en el ámbito personal y familiar se revelan cosas que no son sólo de la familia sino que atañen a toda la sociedad, y muchas veces a través de lo privado se acaban revelando cosas de lo público. “Quiero romper el silencio y es muy importante hablar de este tema porque se ha hecho poco, y mucha gente ignora lo que sucedió”, concluye la regiomontana. (Agencias) Con un estilo llano, intercalando los

Internacional

Cancún, Q. Roo, viernes 27 de septiembre del 2024

Temible

El Huracán Helene tocó tierra anoche en la costa del estado de Florida con ráfagas de viento de categoría 4 en la escala Saffir-Simpson, superiores a los 220 km/h  Página 61

El catastrófico fenómeno atmosférico impactó el territorio estadounidense por la zona de Big Bend, en el noroeste de la península, donde generó marejadas mortales en una amplia extensión, evacuada por residentes con anticipación a la llegada de la tormenta. Decenas de miles de viviendas quedaron de inmediato sin electricidad. (POR ESTO!)

Critica Guterres al Consejo de Seguridad por falta de liderazgo

Imputado el alcalde de Nueva York de cinco cargos penales

Ocultó China naufragio de un submarino, según prensa de EE.UU.

Reprenden a Consejo de Seguridad

Acusa Guterres al órgano de ONU de falta de liderazgo para frenar guerras, desconfianza y divisiones

NACIONES UNIDAS.- El secretario general de Naciones Unidas, António Guterres, criticó duramente al poderoso pero muy dividido Consejo de Seguridad de la institución en un encuentro de alto nivel y lo acusó de falta de liderazgo para poner fin a las guerras en Gaza, Ucrania, Sudán y más allá. “La paz requiere acciones. Y la paz requiere liderazgo”, dijo el Guterres, al Consejo de 15 miembros encargado de garantizar la paz y la seguridad. “En su lugar, estamos viendo creciente desconfianza y divisiones geopolíticas”. Señaló a reiteradas violaciones de la Carta de la ONU y del derecho internacional, conflictos cada vez más numerosos y letales y cómo los civiles pagan el precio más alto. El Consejo no ha podido tomar ninguna medida sobre Ucrania porque Rusia es un miembro con derecho de veto y una parte del conflicto, que invadió a su país vecino incumpliendo la Carta de Naciones Unidas , que requiere que todos los miembros garanticen la soberanía y la integridad territorial de todas las demás naciones.

Tampoco ha podido emprender medidas firmes sobre la guerra entre Israel y Hamás en Gaza debido a un estrecho aliado de Israel, Estados Unidos, otro miembro con derecho de veto. Y en lo referente a Sudán, hay diferencias entre distintos miembros que apoyan a los generales enfrentados en el país.

La paz requiere acciones. Y la paz requiere liderazgo”.

ANTONIO GUTERRES SEC.GENERAL ONU

de la ONU y reconoce la necesidad de adhesión universal a las obligaciones del derecho internacional y las resoluciones del Consejo. Pero pese al acuerdo de los miembros del Consejo sobre el comunicado, sus enormes diferencias fueron evidentes en la reunión.

El primer ministro británico, Keir Starmer, que hacía su primera comparecencia en la ONU, reconoció las fracturas y pidió una renovación del consenso internacional sobre la entrega de ayuda humanitaria. “Esto debería ser el mínimo más elemental, pero con demasiada frecuencia nos quedamos por debajo”, dijo.

El líder del organismo mundial denunció reiteradas violaciones del derecho internacional. (Agencias)

El Secretario General dijo que la paz era posible en Ucrania, Gaza y Sudán si los miembros del Consejo se unían y seguían la Carta de la ONU y el derecho internacional.

“Un Consejo dividido no puede”, dijo. “Es imperativo que los miembros del Consejo no ahorren esfuerzos para trabajar juntos en

buscar terreno común”, como ha hecho al supervisar 11 operaciones de paz en tres continentes y autorizando ayuda humanitaria para zonas en crisis en todo el mundo. Eslovenia, que ostenta la presidencia del Consejo de Seguridad este mes, eligió el tema Liderazgo para la paz, para su cita durante la

Acusa Mahmud Abás ofensiva de Israel, ante la Asamblea General

NUEVA YORK.- El presidente de la Autoridad Palestina, Mahmud Abás, denunció ayer a Israel y su ofensiva en la Franja de Gaza frente a mandatarios mundiales, ante los que apeló a detener lo que llamó una “guerra genocida” contra un lugar y un pueblo que, dijo, ha sido totalmente destruido.

El líder palestino utilizó la tribuna de la Asamblea General de la ONU como suele hacer: para criticar a Israel, pero esta fue la primera vez que lo hizo desde los ataques de Hamás contra Israel del 7 de octubre del 2023 que desencadenaron una operación militar israelí que ha devastado la Franja de Gaza.

Abás subió al podio entre fuertes aplausos y algunos gritos ininteligibles. Sus primeras palabras fueron una frase repetida tres veces: “No nos iremos. No nos iremos. No nos iremos”.

“Palestina es nuestra patria. Es la tierra de nuestros padres y nuestros abuelos. Seguirá siendo nuestro. Y si alguien se irá, serán los usurpadores ocupantes”, afirmó.

Acusó a Israel de destruir Gaza y hacerla inhabitable. Y dijo que su Gobierno debería gobernar la

Gaza de posguerra como parte de un Estado palestino independiente, una visión que el Gobierno de línea dura de Israel rechaza.

Abás ha tenido poca influencia en Gaza desde que Hamás derrocó a sus fuerzas y tomó el poder del territorio en el 2007. Su Gobierno, reconocido internacionalmente, administra sólo pequeñas zonas semiautónomas en la ocupada Cisjordania.

Estados Unidos ha afirmado que una Autoridad Palestina reformada debería desempeñar un papel

en el futuro en Gaza, pero Israel no lo considera un socio confiable y lo ha descartado.

El embajador de Israel ante la ONU, Danny Danon, respondió al discurso de Abás a los pocos minutos con una evaluación crítica. “Abás habló durante 26 minutos y no pronunció la palabra ‘Hamás’ ni una sola vez. Desde la masacre del 7 de octubre, Abás no ha condenado a Hamás por sus crímenes contra la humanidad”, dijo. (Agencias)

reunión anual de líderes mundiales en la Asamblea General de la ONU, e invitó a líderes de las 15 naciones del Consejo. En un detalle más positivo, los 15 miembros del Consejo aprobaron una declaración presidencial -un paso por debajo de una resolución vinculante- que reafirma los principios de la Carta

La embajadora estadounidense, Linda Thomas-Greenfield, dijo que el Consejo debe guiarse por la Carta de la ONU y tachó la invasión rusa de Ucrania de ataque directo a los valores fundacionales de la Carta.

Por su parte, el viceembajador de Rusia, Dmitry Polyansky, dijo al Consejo que “probablemente nuestro planeta no ha estado tan cerca de un conflicto global desde la crisis de los misiles de Cuba en 1962”. (Agencias)

Rechaza Israel llamado de tregua con Hezbolá

BEIRUT.- Israel prometió ayer que seguirá combatiendo a Hezbolá “hasta la victoria” en Líbano y rechazó un llamamiento de Estados Unidos, la Unión Europea y varios países árabes para un alto el fuego de 21 días. Por cuarto día consecutivo, el Ejército israelí bombardeó bastiones de Hezbolá en Líbano, en tanto que la formación islamista apoyada por Irán volvió a disparar proyectiles contra complejos militares israelíes.

Israel informó que mató al jefe de la Unidad de Drones de Hez-

bolá, Mohamed Srur, en “bombardeos de precisión” en un suburbio del Sur de Beirut.

Una fuente de la milicia proiraní había indicado previamente que ese comandante fue el objetivo de un ataque en esa zona, que según el Ministerio de Salud libanés dejó dos muertos y 15 heridos.

Los bombardeos también golpearon el Este de Líbano, otro bastión de Hezbolá, donde 20 personas, casi todas de nacionalidad siria, murieron en la localidad de Yunin, señaló el ministerio. (Agencias)

El Ejército dijo que mató a Mohamed Srur, del grupo islamista. (AP)

Llega Huracán Helene a EE.UU.

Toca tierra en la zona de Big Bend como categoría 4, con potentes vientos superiores a los 220 km/h

CRAWFORDVILLE.- Fuertes

lluvias y potentes ráfagas de viento de 225 km/h golpearon ayer al estado de Florida, en el Sur de Estados Unidos, tras la llegada del “extremadamente peligroso” Huracán Helene, con categoría 4 de 5.

El fenómeno, que tocó tierra casi a media noche en la zona de St. Mark, en la costa de Big Bend, amenazaba con provocar hasta seis metros de mortal marea oceánica, informó el Centro Nacional de Huracanes (NHC, por sus siglas en inglés).

“Un avión cazahuracanes de la Oficina Nacional de Administración Oceánica y Atmosférica (NOAA, siglas en inglés) que está investiga a Helene descubrió que los vientos máximos sostenidos superaron los 215 km/h en las cálidas aguas del Golfo de México, agregó el NHC.

que se produjeran inundaciones. Los meteorólogos también advirtieron sobre la posibilidad de tornados y deslaves. Los gobernadores de Florida, Georgia, las Carolinas y Virginia declararon Estado de Emergencia, al igual que Florida, algo que también hizo el presidente Joe Biden. El mandatario enviará hoy a Florida al director de la Agencia Federal para el Manejo de Emergencias con el fin de que observe los daños.

El Centro de Huracanes no escatimó palabras para advertir sobre esta tormenta: “TODA la costa del Big Bend de Florida está en riesgo de marejada ciclónica potencialmente catastrófica”, afirmó.

Los aeropuertos de Tampa y Tallahassee cerraron y el gobernador de Florida, Ron DeSantis, instó a los residentes a apresurar los preparativos finales antes de la llegada de la tormenta. Unas 125 mil viviendas y negocios quedaron de inmediato sin electricidad.

“Esperamos una inundación por marejada ciclónica de entre 4.5 a 6 metros sobre el nivel del suelo”, alertó el director del NHC, Mike Brennan.

“Eso es hasta la parte superior del segundo piso de un edificio. De nuevo, en esta parte de la costa de Florida se va a producir un escenario nunca antes visto”. Las olas

Impactó en la costa de Big Bend y amenazaba con provocar una mortal marea de hasta 6 metros. (AP)

“pueden destruir casas, mover coches, y el nivel del agua va a subir muy rápidamente”, advirtió. Helene se convirtió en un huracán de categoría 4 antes de llegar anoche al Noroeste de Florida, dijeron meteorólogos, quienes advirtieron que la enorme tormenta podría generar una marejada “de pesadilla”

Acusan de soborno y fraude a alcalde de NY

NUEVA YORK.- El alcalde de Nueva York, Eric Adams, fue imputado ayer de cinco cargos penales, entre ellos soborno y fraude electrónico, tras múltiples investigaciones sobre presunta corrupción en el seno de su administración y la dimisión de varios de sus colaboradores cercanos. Adams, antiguo capitán de la Policía neoyorquina, de 64 años, se convierte en el primer alcalde en ejercicio en ser imputado por la Justicia.

Cuatro de las cinco acusaciones están relacionadas con una investigación sobre la supuesta recepción de fondos para su campaña electoral del año 2021 de parte de empresarios turcos, y otra de soborno.

Al alcalde lo “inundaron con regalos”, en particular viajes en clase preferente en la aerolínea nacional turca, hoteles de lujo y comidas, que no fueron declarados, dijo el fiscal del tribunal federal del Distrito Sur de Manhattan, Damian Williams.

“A medida que aumentaba la importancia y el poder de Adams, sus benefactores nacionales y extranjeros buscaron establecer relaciones corruptas con él, especialmente cuando en 2021 quedó claro que se convertiría en alcalde”, indica el texto judicial.

Antes de que se anunciaran los cargos, agentes federales registraron a primera hora de ayer la Mansión Gracie, residencia oficial de Adams, quien en una rueda de prensa por separado realizada en el exterior del inmueble afirmó que no piensa renunciar a su cargo al frente de la ciudad más grande del país, y dijo a los periodistas que los neoyorquinos deberían escuchar la defensa de su equipo legal antes de emitir cualquier juicio.

“A partir de ahora, mis abogados se encargarán del caso a fin de que yo pueda encargarme de la ciudad”, señaló en la conferencia de prensa celebrada apresuradamente luego que los cargos se hicieron públicos.

(Agencias)

en áreas costeras y traer consigo peligrosos vientos y lluvia a gran parte del Sureste de Estados Unidos.

Los huracanes de categoría 4 tienen vientos sostenidos superiores a 209 km/h que pueden dañar gravemente viviendas, arrancar árboles y derribar líneas eléctricas.

Los efectos del ciclón comen-

zaron a sentirse desde ayer por la tarde: vientos con intensidad de tormenta tropical soplaban en todo el estado, y el agua bañaba una carretera en la parte Norte de Cabo Siesta, cerca de Sarasota. En Asherville, Carolina del Norte, un aguacero arrojó 18 centímetros de agua y aumentó la preocupación de

DeSantis dijo ayer que los modelos indicaban que Helene tocaría tierra más hacia el Este, reduciendo la probabilidad de que afectara directamente a Tallahassee, la capital, cuya área metropolitana tiene unos 395 mil habitantes. El cambio hizo que la tormenta se dirigiera directamente a la poco poblada área de Big Bend, que alberga poblados pesqueros y sitios vacacionales en el punto en que el extremo Occidental de Florida se une con el resto de la península.

Autoridades federales organizaron equipos de búsqueda y rescate mientras la oficina del Servicio Meteorológico Nacional en Tallahassee pronosticó marejadas ciclónicas particularmente “catastróficas e imposibles de sobrevivir” en la bahía Apalachee. Por otro lado, la tormenta tropical Isaac se formó en el Atlántico y se prevé que se fortalezca a medida que avanza hacia el Este en el océano abierto, posiblemente convirtiéndose en huracán antes de que concluya la semana, señalaron meteorólogos. Funcionarios dijeron que su oleaje y vientos podrían afectar partes de las Bermudas y a la larga las Azores el fin de semana. (Agencias)

“A partir de ahora, mis abogados se encargarán del caso”, dijo Adams en una rueda de prensa. (AP)

Recibido el Papa a Luxemburgo

Alerta Francisco contra “los trágicos caminos de la guerra” e insiste en la vía de las negociaciones

LUXEMBURGO.- El Papa Francisco, de visita oficial en Luxemburgo, alertó ayer contra “los trágicos caminos de la guerra” e insistió en la importancia de las negociaciones y el diálogo, en un contexto internacional extremadamente tenso.

El Pontífice, de 87 años, llegó a Luxemburgo, visiblemente cansado, para una visita europea de cuatro días que incluirá una etapa en Bélgica. En su primer discurso ante las autoridades, la sociedad civil y el cuerpo diplomático del país, el Papa argentino lamentó “el resurgimiento, incluso en el continente europeo, de desavenencias y enemistades que (...) desembocan en hostilidades abiertas, con su secuela de destrucción y muerte”.

“Parece que el corazón humano no siempre sabe preservar la memoria y que periódicamente se extravía y vuelve a los trágicos caminos de la guerra”, prosiguió el Papa, que instó a fomentar “negociaciones honestas con vistas a

LIMA.- Miles de transportistas paralizaron sus actividades ayer en Lima y el contiguo puerto de Callao, en una protesta inédita contra las extorsiones y el asesinato de tres conductores en las últimas semanas por parte del crimen organizado.

Al menos 3 mil vehículos dejaron de prestar el servicio por 24 horas en amplios sectores de la capital peruana de 10 millones de habitan-

Existen cinco potencias nucleares responsables por la seguridad y la paz mundial. Ellas mismas lo decidieron así. Cuatro (Estados Unidos, Reino Unido y Francia, forman parte de la OTAN y Rusia, que se arriesga en solitario, están virtualmente en guerra mientras la quinta, China, mira los toros desde la barrera y evita ser involucrada. No obstante, mientras no se demuestre lo contrario, de ellas depende el porvenir de todos. El peldaño civilizatorio alcanzado por la humanidad, convertida en una entidad global, requiere de normas de convivencia para esa escala que solo son aplicables si existe consenso entre los rectores de la economía y la política mundial que son, guste o no, las grandes potencias. No hubo referéndum y ningún estado fue consultado para iniciar ninguna de las guerras que hoy perturban a la humanidad, todas por elección. A diferencia de lo que ocurría en el pasado reciente cuando, a pesar de las tensiones de la Guerra Fría y el colapso de la Unión Soviética, la seguridad internacional se sostuvo por la vigencia de las reglas acordadas en la década de los años cuarenta del pasado siglo, y que hicieron posible la Carta de la

lificó de “inaceptable” la “terrible escalada” en Líbano, y llamó a la comunidad internacional a hacer

contrastes y las guerras provocadas por nacionalismos exasperados e ideologías perniciosas”. A su llegada a Luxemburgo fue re-

cibido por el gran duque Enrique, su sa, y el primer ministro Luc Frieden. Enclavado entre Bélgica, Alemania y Francia, Luxemburgo tiene 654 mil habitantes, de los cuales 41 por ciento son católicos, según el Vaticano. El Papa visita una sociedad diferente de la que vio Juan Pablo II, dijo el analista político Philippe Poirier.

Fluctúa popularidad

El Papa Francisco sigue siendo muy popular en varios países latinoamericanos. Pero la proporción de personas que aún lo ven favorablemente en su natal Argentina ha caído casi 30 puntos porcentuales en una década. Esas son las conclusiones de un informe publicado ayer por el Pew Research Center titulado: “Cómo ven al Papa Francisco las personas en Latinoamérica y Estados Unidos”. En la encuesta participaron 6 mil 234 adultos el año pasado en seis países latinoamericanos, que están entre los más poblados de la región. En la encuesta se halló que las actitudes hacia el Papa -en Argentina, Brasil, Chile, Colombia, México y Perú- siguen siendo ampliamente positivas, aunque en general menos que hace una década. La mayor caída en actitudes favorables se registró en Argentina, país natal del Pontífice. (Agencias)

Realizan transportistas inédita huelga en Perú

tes, así como en Callao, de acuerdo con estimaciones del gremio. Desde tempranas horas los usuarios se agolpaban en paradas o hacían largas filas en las estaciones de ómnibus. Organizaciones de mototaxistas también se sumaron a la medida que obligó a varios colegios y universidades a suspender las clases presenciales. Los transportistas que guardaron sus vehículos realizan una marcha en dirección al Congreso, en el centro de Lima, con ataúdes de cartón y carteles con consignas como “Basta de muertes a los transportistas” y “No a las extorsiones”.

Perspectivas

ONU, el Capítulo VII y la cláusula de unanimidad entre los miembros permanentes del Consejo de Seguridad; hoy existe un enorme vacío y un desconcierto monumental.

Sin reglas y sin compromisos, con las guerras en Europa y Oriente Medio en franca escalada, el peligro de una confrontación entre las potencias nucleares, es una inquietante perspectiva.

Al elaborar la Carta de la ONU, los Cinco Grandes fueron consecuentes con la idea de que lo más importante era impedir una nueva guerra mundial, para lo cual lo decisivo era evitar la confrontación armada entre ellos. Por esa razón introdujeron la cláusula de unanimidad, según la cual, para adoptar decisiones en torno a los problemas de la guerra y la paz y la seguridad internacional, así como para modificar la Carta e invocar el Capítulo VII de esta, se requería el voto unánime de ellos cinco. Roto aquel consenso la arquitectura de seguridad colectiva se tambalea.

En el momento actual, ninguna de las potencias del Consejo de Seguridad dispone de capacidad

política para sustituir ese mecanismo. Lo que más se aproxima a una alternativa viable es el G-7, cuya solvencia es socavada por la ausencia de China y Rusia.

No obstante, al menos por ahora, esta estructura cuenta con suficiente cohesión y respaldo político, económico y militar real para asumir algunos de los perfiles que ahora posee el Consejo de Seguridad, aunque no con el mandato para hacerlo que, llegado el caso no vacilará en otorgarse a sí mismo. Con algunas excepciones, el llamado Occidente colectivo lo acataría, entre otras cosas porque no tiene otra opción y necesita algún liderazgo.

Tal vez, con la notable ausencia de China, la analogía con los Cinco Grandes que caracterizó al siglo XX, regresa a la palestra mundial. El G-20 que incluye a China, Rusia y otras potencias emergentes, entre ellas Brasil, México y Argentina, es otra instancia probable.

No obstante, los enormes defectos de los cuales se tiene conciencia y cuya subsanación son constantemente reclamada,

En Lima y Callao hay 470 empresas de transporte. Las bandas exigen el pago de hasta 50 mil soles (13 mil 500 dólares) mensuales por compañía. Cuando las empresas se rehúsan, atacan a tiros los vehículos, incluso con pasajeros dentro. En lo corrido del año van 14 atentados y tres choferes asesi-

nados, según testimonios. Según la Policía, entre enero y septiembre se han registrado en Perú 14 mil 220 denuncias de extorsión. En todo el 2023 se reportaron 22 mil 294. Aunque gran parte de las víctimas no dan parte de los casos por temor. (Agencias)

los entendimientos y consensos alcanzados en los años cuarenta del pasado siglo, sirvieron para, a pesar de las tensiones y las crisis de la Guerra Fría, durante casi 80 años, impedir la guerra entre las grandes potencias.

En el 2022, la guerra entre la OTAN y Rusia, con Ucrania como escenario, dinamitó aquel statu quo. Hoy, cuando la guerra avanza en su tercer año, no existe acuerdo para la seguridad colectiva global y tampoco regional. ¿Qué hacer? Obviamente, para avanzar en el restablecimiento de la seguridad colectiva, es preciso arribar a nuevos consensos para restablecer las reglas o crear otras. La cuestión es cómo hacerlo, quién lo hará y cuándo.

El esquema anterior se basó en el ambiente de confianza construido entre las potencias de entonces y que permitió la alianza entre Estados Unidos, la Unión Soviética, Gran Bretaña, China y Francia que, aunque de modo precario, sorteando crisis como las del bloqueo a Berlín (1948-1949), la Nacionalización del Canal de Suez e invasión anglo-francesa-israelí a

Egipto (1956) y la Crisis de los Misiles en Cuba (1962), se sostuvo sin que ninguna de las partes perdiera la compostura al punto de apelar a la guerra como ocurrió en el 2022. Debido a la existencia de ocho países con arsenales nucleares (9 contando a Israel), todos con capacidad para causar destrucciones a escala global, y de haberse roto todos los acuerdos de limitación de armas nucleares, así como los compromisos de: “No ser el primero en emplearlas” y de, en ningún caso, usarlas contra países que no las poseen; a pesar de los arsenales, la humanidad está indefensa. El problema consiste en que el arreglo global que se necesita para restablecer la seguridad colectiva, no es posible mientras no haya paz entre las grandes potencias y se restablezcan márgenes de confianza entre ellas para adoptar nuevos acuerdos y compromisos respecto a la paz y la seguridad internacionales. No hace falta advertir que, probablemente el peligro de una confrontación militar con escala global y empleo masivo de armas nucleares está más cerca que la posibilidad de un entendimiento. Tal vez no. Tal vez las reiteradas alusiones a las armas nucleares sean bravuconadas que nunca se realicen. No obstante, es preferible no hacer la prueba.

Jorge Gómez Barata
El Pontífice se refirió a Luxemburgo en la construcción de una “Europa unida y solidaria”. (AP)

INVESTIGAN

CIBERATAQUE A RED DE ESTACIONES DE TREN BRITÁNICA

La Policía y las autoridades británicas de transportes investigan un “incidente de ciberseguridad” en las redes de Wi-Fi públicas en las principales estaciones de tren del país, según indicaron ayer.

Los pasajeros que intentaron conectarse a la red en estaciones como Manchester Piccadilly Birmingham New Street Y 11 London encontraban un sitio web con el mensaje Te queremos, Europa, seguido por un texto antislámico que enumera una serie de ataques.

Network Rail , que gestiona las estaciones, dijo que se había apagado la red Wi-Fi y no se habían capturado datos de los pasajeros. “La Policía Británica de Transportes está investigando el incidente”, dijo Network Rail en un comunicado. “Este servicio se presta a través de un tercero y se ha suspendido mientras se realiza una investigación”.

OCULTÓ CHINA EL NAUFRAGIO DE UN SUBMARINO, SEGÚN PRENSA DE EE.UU.

El Wall Street Journal informó del hundimiento, ocurrido en un astillero a principios de este año, y compartió imágenes de satélite en las que se ven grandes grúas recuperando el sumergible.

Síguenos en nuestras redes On line

MUEREN AHOGADAS

46 PERSONAS EN FESTIVIDAD RELIGIOSA EN INDIA

(Agencias)

SPACEX PLANEA

INVERTIR MIL 500 MILLONES DE DÓLARES EN VIETNAM

La compañía aeroespacial SpaceX, fundada por Elon Musk, planea invertir mil 500 millones de dólares en Vietnam, anunció la agencia de noticias oficial del país, que está busca inversiones de las grandes empresas mundiales. El secretario general del Partido Comunista y máxima autoridad de Vietnam, To Lam, se reunió esta semana en Nueva York con Tim Hughes, vicepresidente de Asuntos Globales y Gubernamentales de SpaceX (foto). Según la agencia oficial de noticias VNA, Hugues dijo estar interesado en Vietnam para el plan de Internet vía satélite de la compañía y en invertir mil 500 millones de dólares. El Gobierno está “estudiando la propuesta de inversión”, dijo Lam, según VNA (Agencias)

China intentó ocultar el hundimiento de su submarino de propulsión nuclear más reciente, afirmó ayer un funcionario de Defensa estadounidense.

El Wall Street Journal informó del hundimiento, ocurrido en un astillero a principios de este año, y compartió imágenes de satélite en las que se ven grandes grúas recuperando el submarino.

“No es sorprendente que la Armada china haya intentado ocultar el hecho de que su nuevo submarino de ataque de propulsión nuclear, el primero de este tipo, se hundió en el muelle”, dijo el funcionario, que pidió mantener el anonimato.

“Además de las preguntas obvias sobre los estándares de

Síguenos en nuestras redes

On line

fabricación (...) el incidente plantea otras preguntas más importantes sobre la responsabilidad interna de la Armada china y la supervisión de la industria de Defensa de China, que desde hace mucho tiempo está plagada de corrupción”, añadió.

El hundimiento supone un revés para el gigante asiático, que busca modernizar su flota, la mayor del mundo. Ayer trascendió, además,

que Estados Unidos y Reino

Unido proporcionarán a Australia submarinos de propulsión nuclear para ampliar el número de países con estas naves. El acuerdo fue criticado por Pekín, que lo considera una respuesta estratégica a los planes militares chinos en Asia-Pacífico.

La Fuerza Naval china perdió a finales de agosto del 2023 a 55 marineros en un accidente cerca de sus costas, según revelaron los Servicios Secretos británicos, que confirmaron el supuesto suceso que tuvo lugar el 21 de agosto del año pasado.

El ministro de Defensa chino, Li Shangfu, fue destituido poco después del incidente.

(Agencias)

Al menos 46 personas, entre ellas 37 niños, murieron ahogadas mientras celebraban una festividad hindú en el este de India, informó ayer a AFP un alto cargo del Gobierno local. Las víctimas se ahogaron en incidentes separados en el estado de Bihar mientras realizaban baños rituales en ríos y estanques crecidos por las recientes inundaciones, precisó un responsable del Departamento de Gestión de Desastres. “La gente ignoró el peligro derivado de los niveles del agua en los ríos”, mientras se bañaba en ellos con motivo de la festividad, dijo el responsable, que pidió anonimato. Los ahogamientos se produjeron en 15 distritos del estado de Bihar, mientras los fieles participaban en la festividad de Jitiya Parv, que las madres observan por el bienestar de sus niños. Las autoridades seguían trabajando para encontrar tres cadáveres más, dijo el responsable del Departamento de Gestión de Desastres. Las festividades religiosas hindúes, que pueden llegar a reunir hasta varios millones de personas, son con frecuencia escenario de accidentes.

En julio pasado, más de 120 personas murieron en el estado de Uttar Pradesh en una estampida en un lugar donde se habrían reunido más de 250 mil personas para escuchar a un famoso predicador hindú. (Agencias)

TERMINA RIFLE EN UNA MÁQUINA DE RESONANCIA DURANTE REDADA

Policías estadounidenses realizaron una redada en un centro médico de diagnósticos pensando que se trataba de una granja de marihuana y causaron una caótica escena que incluyó la adhesión de un rifle a una máquina de resonancia magnética, de acuerdo con una demanda presentada en California.

Los dueños del Centro Diagnóstico Noho buscan una compensación del Departamento de Policía de Los Ángeles por una operación que sus abogados describieron como “nada menos que un circo desorganizado”.

El agente Kenneth Franco descubrió que el lugar utilizaba más electri-

Síguenos en nuestras redes

On line

cidad que establecimientos vecinos y, por lo tanto, concluyó que (el centro) “cultivaba cannabis”, ignorando el hecho de que es un centro diagnóstico que emplea una máquina de resonancia magnética, rayos X y otros equipos médicos”, dice el documento legal. Tras irrumpir en la institución

médica, los agentes sólo encontraron oficinas, una persona trabajando y equipos médicos, como la máquina de resonancia magnética, una herramienta importante que utiliza imanes potentes para crear escáneres detallados de un paciente. A pesar de que un aviso advertía que los objetos de metal deben mantenerse lejos, un agente se acercó a la máquina “con un rifle colgado en su mano derecha”, aclaró la demanda. “Como era de esperar, la fuerza magnética de la máquina de resonancia atrajo el rifle y lo pegó a la máquina”, reveló el informe. (Agencias)

Quintana Roo

Dignidad, Identidad y Soberanía

Cancún, Quintana Roo, México, viernes 27 de septiembre del 2024

Directora General: Alicia Menéndez Figueroa

Año 32 No. 11523

Herida

Entre reclamos de justicia, empañados por actos vandálicos, manifestantes marchan en la CDMX por ; AMLO reafirma que NO hay impunidad en el Guardia Nacional; será declarada constitucional /

 República 3, 5 y 7

Aumentan a 11 los fallecidos por el paso del ciclón John  República 6

Dallas sufre para conseguir la victoria ante Gigantes  Deportes 46

Helene impacta a Florida como huracán categoría 4  Internacional 61

UN contingente -conformado por alrededor de 10 mil personas, según cifras del Gobierno de la Ciudad de México- avanzó por Avenida Reforma hacia el Zócalo, con los padres y madres de los estudiantes portando imágenes de sus hijos. La exigencia es la misma que hace una década: que regresen vivos.- (Cuartoscuro)
CON la aprobación obtenida de las legislaciones locales, todas con mayorías de Morena y aliados, la modificación constitucional puede dar su siguiente paso antes de llegar al Diario Oficial de la Federación.- (Cuartoscuro)

Turn static files into dynamic content formats.

Create a flipbook
Issuu converts static files into: digital portfolios, online yearbooks, online catalogs, digital photo albums and more. Sign up and create your flipbook.