Bauausschuss-Sitzung am 22.01.2026 I Öffentlicher Teil


Bauausschuss-Sitzung am 22.01.2026 I Öffentlicher Teil

![]()
Bauausschuss-Sitzung am 22.01.2026 I Öffentlicher Teil


Bauausschuss-Sitzung am 22.01.2026 I Öffentlicher Teil

1. Genehmigung der Niederschrift über die öffentliche Sitzung des Ausschusses vom 11.12.2025
2. Vollzug des BauGB;
2.1 Stellungnahme zu den vorbereitenden Untersuchungen „Hauptort Pörnbach“ nach § 139 II/§ 4 II BauGB
2.2 Aufstellung Bebauungsplan Nr. 211 „Eberstetten“ – Aufstellungsbeschluss –
2.3 Erlass einer Veränderungssperre für den Geltungsbereich des Bebauungsplans Nr. 211 „Eberstetten“
2.4 Erste Änderung/Erweiterung des städtischen Bebauungsplans Nr. 98 „Streitdorf“ – Satzungsbeschluss –
2.5 Aufstellung Bebauungsplan Nr. 189 „An der Unthofstraße in Tegernbach“ – Satzungsbeschluss –
3. Bauanträge und Bauvoranfragen;
3.1 Vorbescheidsantrag Neubau Mehrfamilienhaus mit acht Wohnungen, Schweitenkirchener Straße, Fl.-Nr. 65 Teil, Gem. Eberstetten
3.2 Antrag auf Baugenehmigung: Errichtung Mehrfamilienhaus mit Tiefgarage Rot-Kreuz-Straße 25, Fl.-Nr. 870, Gem. Pfaffenhofen
3.3 Vorbescheidsantrag Neubau Mehrfamilienhaus mit Stellplätzen Hörlstraße 47, Fl.-Nr. 1396/4, Gem. Pfaffenhofen
3.4 Vorbescheidsantrag Errichtung Mehrfamilienhaus mit Tiefgarage und Stellplätzen Raiffeisenstr. 50, Fl.-Nr. 2161, Gem. Pfaffenhofen
4. Bekanntgaben
5. Wünsche und Anfragen

Bauausschuss-Sitzung am 22.01.2026 I Öffentlicher Teil

Top 1 Genehmigung der Niederschrift über die öffentliche Sitzung des Planungs-, Bau- und Umweltausschusses vom 11.12.2025
Die Niederschrift der öffentlichen Sitzung des Planungs-, Bau- und Umweltausschusses vom 11.12.2025 wird genehmigt.
Bauausschuss-Sitzung am 22.01.2026 I Öffentlicher Teil


2.1 Stellungnahme vorbereitende Untersuchungen „Hauptort Pörnbach“ nach § 139 II/ 4 II BauGB der Gem. Pörnbach – Trägerbeteiligung


Bauausschuss-Sitzung am 22.01.2026 I Öffentlicher Teil

Top 2.1 Stellungnahme vorbereitende Untersuchungen „Hauptort Pörnbach“ nach § 139 II/ 4 II BauGB der Gem. Pörnbach – Trägerbeteiligung –
Da Belange der Stadt nicht berührt sind, werden keine Einwendungen und/oder
Anregungen zu den vorbereitenden Untersuchungen „Hauptort Pörnbach“, ISEK samt
Sanierungssatzung der Gemeinde Pörnbach, vorgebracht. Die Gemeinde Pörnbach ist darüber in Kenntnis zu setzen, dass eine Beteiligung in Zukunft unterbleiben kann.
Bauausschuss-Sitzung am 22.01.2026 I Öffentlicher Teil


„Eberstetten“ – Aufstellungsbeschluss –


Bauausschuss-Sitzung am 22.01.2026 I Öffentlicher Teil

Top 2.2 Aufstellung des städtischen Bebauungsplans Nr. 211
„Eberstetten“ – Aufstellungsbeschluss –
Der Ausschuss beschließt die Aufstellung des städtischen Bebauungsplans Nr. 211
„Eberstetten“ im beschleunigten Verfahren gemäß § 13a BauGB.
Bauausschuss-Sitzung am 22.01.2026 I Öffentlicher Teil


Top 2.3 Erlass einer Veränderungssperre für den Geltungsbereich des in Aufstellung befindlichen Bebauungsplans Nr. 211 „Eberstetten“


Bauausschuss-Sitzung am 22.01.2026 I Öffentlicher Teil

Top 2.3 Erlass einer Veränderungssperre für den Geltungsbereich des in Aufstellung befindlichen Bebauungsplans Nr. 211 „Eberstetten“
Der Ausschuss beschließt den Erlass der Veränderungssperre für den Bereich des in Aufstellung befindlichen Bebauungsplans Nr. 211 „Eberstetten“ der Stadt Pfaffenhofen
a. d. Ilm.
Bauausschuss-Sitzung am 22.01.2026 I Öffentlicher Teil


Top 2.4 Erste Änderung und Erweiterung des städtischen Bebauungsplans Nr. 98 „Streitdorf“ – Satzungsbeschluss –


Bauausschuss-Sitzung am 22.01.2026 I Öffentlicher Teil

Top 2.4 Erste Änderung und Erweiterung des städtischen Bebauungsplans Nr. 98 „Streitdorf“ – Satzungsbeschluss –
Der Ausschuss beschließt abschließend über die Stellungnahmen der Behörden und sonstigen Träger öffentlicher Belange sowie der Öffentlichkeit gemäß § 3 Abs. 2 BauGB gemäß vorliegender Zusammenstellung. Die Beschlüsse des Ausschusses über die Stellungnahmen der Behörden und sonstigen Träger öffentlicher Belange sowie der Öffentlichkeit vom 31.07.2025 (Nr. 2.3) werden gebilligt. Die Verwaltung wird beauftragt, die Öffentlichkeit sowie die Behörden und sonstigen Träger öffentlicher Belange, die Stellungnahmen eingereicht haben, von diesem Ergebnis unter Angabe der Gründe in Kenntnis zu setzen. Der Ausschuss beschließt die erste Änderung und Erweiterung des Bebauungsplans Nr. 98 „Streitdorf“ in der Fassung vom 22.01.2026 als Satzung.
Die Begründung wird gebilligt. Die Verwaltung wird beauftragt, den Satzungsbeschluss gemäß
§ 10 Abs. 3 BauGB ortsüblich bekanntzumachen. Dabei ist anzugeben, wo der Bebauungsplan während der Dienststunden eingesehen und über den Inhalt Auskunft verlangt werden kann.

Bauausschuss-Sitzung am 22.01.2026 I Öffentlicher Teil

Top 2.5 Aufstellung des städtischen Bebauungsplans Nr. 189 „An der Unthofstraße in Tegernbach“ – Satzungsbeschluss –


Bauausschuss-Sitzung am 22.01.2026 I Öffentlicher Teil

Top 2.5 Aufstellung des städtischen Bebauungsplans Nr. 189 „An der Unthofstraße in Tegernbach“ – Satzungsbeschluss –
Der Ausschuss beschließt abschließend über die Stellungnahmen der Behörden und sonstigen Träger öffentlicher Belange sowie der Öffentlichkeit gemäß § 3 Abs. 2 BauGB gemäß vorliegender Zusammenstellung. Die Beschlüsse des Ausschusses über die Stellungnahmen der Behörden und sonstigen Träger öffentlicher Belange sowie der Öffentlichkeit vom 09.10.2025 (Nr. 3.3) werden gebilligt. Die Verwaltung wird beauftragt, die Öffentlichkeit sowie die Behörden und sonstigen Träger öffentlicher Belange, die Stellungnahmen eingereicht haben, davon unter Angabe der Gründe in Kenntnis zu setzen. Der Ausschuss beschließt den Bebauungsplan Nr. 189 „An der Unthofstraße in Tegernbach“ in der Fassung vom 22.01.2026 als Satzung. Die Begründung wird gebilligt. Die Verwaltung wird beauftragt, den Satzungsbeschluss gemäß § 10 Abs. 3 BauGB ortsüblich bekanntzumachen. Dabei ist anzugeben, wo der Bebauungsplan während der Dienststunden eingesehen und über den Inhalt Auskunft verlangt werden kann.

Bauausschuss-Sitzung am 22.01.2026 I Öffentlicher Teil

Top 3.1 VB zum Neubau eines Mehrfamilienhauses mit acht Wohnungen
in der Schweitenkirchener Straße, Fl.-Nr. 65 Teilfläche, Gem. Eberstetten


Bauausschuss-Sitzung am 22.01.2026 I Öffentlicher Teil


Top 3.1 VB zum Neubau eines Mehrfamilienhauses mit acht Wohnungen
in der Schweitenkirchener Straße, Fl.-Nr. 65 Teilfläche, Gem. Eberstetten


Bauausschuss-Sitzung am 22.01.2026 I Öffentlicher Teil

Top 3.1 VB zum Neubau eines Mehrfamilienhauses mit acht Wohnungen
in der Schweitenkirchener Straße, Fl.-Nr. 65 Teilfläche, Gem. Eberstetten
Der Bauausschuss beschließt, das gemeindliche Einvernehmen zum Antrag auf
Vorbescheid zum Neubau eines Mehrfamilienhauses mit acht Wohneinheiten auf der Fl.-
Nr. 65 Teilfläche, Gem. Eberstetten, nicht zu erteilen, weil sich das geplante Vorhaben nach dem Maß der baulichen Nutzung nicht in die nähere Umgebung einfügt.
Bauausschuss-Sitzung am 22.01.2026 I Öffentlicher Teil


Top 3.2 Antrag auf Errichtung eines Mehrfamilienhauses mit Tiefgarage
in der Rot-Kreuz-Straße 25, Fl.-Nr. 870, Gem. Pfaffenhofen



Bauausschuss-Sitzung am 22.01.2026 I Öffentlicher Teil

Top 3.2 Antrag auf Errichtung eines Mehrfamilienhauses mit Tiefgarage
in der Rot-Kreuz-Straße 25, Fl.-Nr. 870, Gem. Pfaffenhofen



Bauausschuss-Sitzung am 22.01.2026 I Öffentlicher Teil

Top 3.2 Antrag auf Errichtung eines Mehrfamilienhauses mit Tiefgarage in der Rot-Kreuz-Straße 25, Fl.-Nr. 870, Gem. Pfaffenhofen
Der Ausschuss verweigert zum Antrag auf Baugenehmigung zur Errichtung eines Mehrfamilienhauses mit Tiefgarage in der Rot-Kreuz-Straße 25, Fl.-Nr. 870, Gem. Pfaffenhofen das gemeindliche Einvernehmen.
Die Regelungen der städtischen Stellplatz- und Fahrradabstellplatzsatzung sind einzuhalten.
Bauausschuss-Sitzung am 22.01.2026 I Öffentlicher Teil


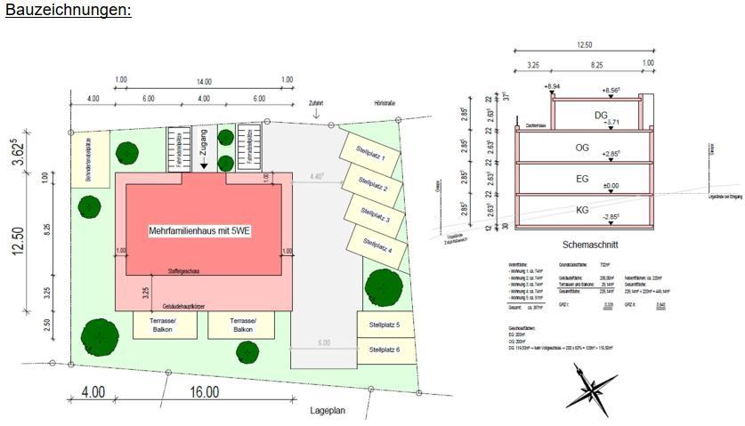
Top 3.3 Vorbescheid zum Neubau eines Mehrfamilienhauses mit Stellplätzen in der Hörlstraße 47, Fl.-Nr. 1396/4, Gem. Pfaffenhofen



Bauausschuss-Sitzung am 22.01.2026 I Öffentlicher Teil

Top 3.3 Vorbescheid zum Neubau eines Mehrfamilienhauses mit Stellplätzen in der Hörlstraße 47, Fl.-Nr. 1396/4, Gem. Pfaffenhofen
Der Ausschuss beschließt, zum Antrag auf Vorbescheid zum Neubau eines Mehrfamilienhauses mit Stellplätzen in der Hörlstraße 47, Fl.-Nr. 1396/4, Gem. Pfaffenhofen das Einvernehmen zu erteilen.
Bauausschuss-Sitzung am 22.01.2026 I Öffentlicher Teil


Top 3.4 VB zur Errichtung eines Mehrfamilienhauses mit Tiefgarage und Stellplätzen in der Raiffeisenstraße 50, Fl.-Nr. 2161, Gem. Pfaffenhofen

Genehmigter Vorbescheid

Neue Planung
Bauausschuss-Sitzung am 22.01.2026 I Öffentlicher Teil



Top 3.4 VB zur Errichtung eines Mehrfamilienhauses mit Tiefgarage und Stellplätzen in der Raiffeisenstraße 50, Fl.-Nr. 2161, Gem. Pfaffenhofen
Der Ausschuss beschließt, zum Antrag auf Vorbescheid zur Errichtung eines Mehrfamilienhauses mit Tiefgarage und Stellplätzen in der Raiffeisenstraße 50, Fl.-Nr. 2161, Gem. Pfaffenhofen das gemeindliche Einvernehmen nicht zu erteilen.
Bauausschuss-Sitzung am 22.01.2026 I Öffentlicher Teil


Bauausschuss-Sitzung am 22.01.2026 I Öffentlicher Teil


Bauausschuss-Sitzung am 22.01.2026 I Öffentlicher Teil

