PALM COAST






![]()






Daytona Chief Young said the stop was a part of increased enforcement patrols.
SIERRA WILLIAMS
STAFF WRITER
The wife of Daytona Beach Mayor Derrick Henry was pulled over on Feb. 11, and Henry has claimed on a social media post that the stop was racially motivated.
Stephanie Pasley-Henry was turning left from Lincoln Street onto Mary McLeod Bethune Boulevard in Daytona Beach when she was pulled over. The officers said
JAN. 31
SHELTERS TRASHED
9:51 a.m. — 1000 block of St. Georges Road, Ormond Beach Civil complaint. Police responded to a local apartment complex after a resident who cares for a feral cat colony saw several shelters inside the trash compactor.
According to an incident report, the resident spoke with the apartment management team, who said a man had come in letting them know he had found “trash” behind a garage and asked to throw it away. The management team told him that maintenance would clean it up, but the man insisted on doing it himself.
The “trash” in question were three cat shelters the residents had bought for the cat colony. One of the shelters had two food bowls still on top of it. While the resident was able to safely retrieve one of the shelters, she couldn’t reach the other two.
Police identified the man as a 23-year-old apartment resident. He told police he hadn’t been aware of the city’s trap, neuter and release program.
FEB. 9
PDA
5:16 p.m. — 300 block of North Nova Road, Ormond Beach Unnatural and lascivious act
A 23-year-old Sanford woman and a 23-year-old Port Orange man were reportedly engaged in a sexual act in front of a chicken restaurant in a local plaza.
Police encountered the suspects as they were walking through a nearby park.
A witness, who works at the restaurant, pointed them out to officers and reported that the couple had been masturbating in front of the establishment. Once police approached the couple, the reporting officer noted they were drunk. The man said the witness
the reason for the stop was because Pasley-Henry made an improper left turn onto Bethune Boulevard and rolled over the white line before stopping.
Two Daytona Beach police officers initiated the stop and a Volusia County Sheriff’s Office deputy later joined the scene.
Derrick Henry wrote in a Facebook post on Feb. 12 that he was on the phone with his wife during the entire stop, though he said she did not reveal who her husband was to the officers.
While the officers were professional and courteous, he wrote, Henry called it a “frivolous stop” that escalated to a
was a “creep” for following them, according to an incident report. No cameras captured the incident.
FEB. 10
THE LAST LAUGH
10:46 a.m. — 200 block of Pine Lakes Parkway, Palm Coast
Possession of a controlled substance. A Palm Coast woman was arrested after a Sheriff’s Office deputy found her inhaling nitrous oxide behind a local gas station. Nitrous oxide is more commonly known as laughing gas. While talking to a deputy, the woman admitted she used the gas to “feel free” and admitted to having four THC vape pens in her pocket, the report said. The woman was taken to the county jail.
LIBRARY HIGH
10:22 p.m. — 2500 block of Palm Coast Parkway northwest, Palm Coast Drug possession. A couple was arrested for smoking weed in a car outside a county library.
The car was parked outside the library after it had closed and two Sheriff’s Office deputies approached the car as part of a proactive patrol. As they approached, the passenger let down a window, letting out a cloud of marijuana smoke, according to an arrest report.
One deputy spoke to the driver, who admitted her friend in the passenger seat was smoking. But when the deputy told her to exit the car, the woman instead locked the door and shook her head no, the report said. Though the driver began arguing with the deputies about exiting the car, her passenger unlocked the car doors, allowing the deputy to open it.
A search of the vehicle found 2.4 grams of marijuana, rolling papers, a box cutter and a glass pipe. The passenger told deputies that all the drug related items in the car belonged to him.
Both occupants were arrested and taken to jail.
sobriety test without reason. Having three officers respond to the stop felt “excessive,” Henry wrote.
For many in the Mary McLeod Bethune Boulevard area, he wrote, this is routine.
“Over policing in Black and Brown communities is real,” Henry wrote. “When multiple units respond to minor or questionable stops, it creates unnecessary tension and increases the risk of escalation.”
He called for an end to “over policing in Daytona Beach and beyond.”
“Our community deserves safety without intimidation,” Henry wrote.
Daytona Beach Police Chief
Pedestrian killed in Valentine’s Day crash in Ormond
A 79-year-old driver killed a pedestrian at the intersection of South Orchard Street and Division Avenue on Saturday, Feb, 14, Ormond Beach Police reported.
The crash happened at about 10:54 p.m. when two pedestrians walking eastbound on Division Avenue turned left onto South Orchard Street. The driver was traveling southbound on South Orchard Street at a high rate of speed, according to OBPD, and he failed to stop at a stop sign, striking one of the pedestrians.
The pedestrian was pronounced dead at the scene. OBPD didn’t release the identity of the victim, pending notification of next of kin.
The driver was not injured in the crash. He was transported to the hospital for further medical evaluation after he showed symptoms consistent with dementia, OBPD reported.
“This is a tragic loss of life and a difficult reminder how quickly lives can change on our roadways,” OBPD Capt. Chris Roos said in a news release.
The investigation is ongoing. Anyone with information is asked to contact Officer James Feeley at 386-2297162 or James.Feeley@ ormondbeach.org.
Flagler deputies de-escalate
Flagler County Sheriff’s Office deputies safely de-escalated a days-long series of incidents involving a man who was in a severe mental health crisis. Deputies ultimately secured the man without force
Jakari Young immediately addressed Henry’s post with a video post on the DBPD Facebook page on Feb. 13. As a Black man who has dedicated his life to community service, Young said, he takes the matter seriously but takes “exception to the suggestion that this department engages in policing strategies rooted in race.”
“This is not who we are as a department, and it is not how I lead,” Young said. “Officers do not police based on race or ethnicity.”
The two DBPD officers were a training officer and his intraining partner, Young said. The Sheriff’s Office deputy, Young said, was on patrol nearby stopped to check on
after he briefly pointed what appeared to be a handgun at deputies.
This series of incidents began Saturday, Feb. 7, 2026, when Keith McCabe, 55, of Palm Coast repeatedly contacted 911 and the non-emergency line, making paranoid and erratic statements.
Deputies have responded several times in prior years for calls for service involving ongoing neighborhood disputes and reports of erratic behavior by McCabe. Neighbors have expressed ongoing concerns about the escalating nature of his paranoid behavior.
McCabe later told deputies he had not slept in several days. His family stated that he has no diagnosis of mental health illness or history of drug use.
“This is exactly why we invest so much time in training de-escalation and crisis response,” said Flagler County Sheriff Rick Staly. “Our deputies stayed patient, created time, used their rapport, and kept communicating until they could safely take him into custody. This situation could have quickly escalated to a deputy involved shooting but because of their training it did not. I’m very proud of our deputies for deescalating this incident and safely taking him into custody.”
For video, see the reel on the Palm Coast Observer Facebook page.
Four small brush fires burning along Interstate 95 in Volusia County have been contained, with firefighters across multiple agencies mopping up.
Four fires, totaling 10 acres in size, broke out along I-95 on Feb. 15, temporarily shutting down all lanes of the interstate between Dunlawton Avenue and State Road 400. Both the northbound and southbound lanes of I-95 have since reopened around 6 p.m. on Feb. 15, according
the officers, as many law enforcement officers regularly do when passing a traffic stop.
After reviewing the stop, Young said that no department policies were violated. Describing the incident as over-policing mischaracterizes standard training structure and common officer safety practices, he said.
“There is a saying in law enforcement that we are damned if we do and we’re damned if we don’t,” Young said. “When enforcement increases, it can be labeled as over policing. When enforcement decreases it can be labeled as neglect.”
That area has received many complaints from residents in that area asking for more patrols to help with loud music, speeding and parking violations, he said. In response to the complaints, Young directed an increase of enforcement efforts in the Mary McLeod Bethune area. Young said DBPD officers are expected to be professional and courteous in every encounter. His officers, acting within the bounds of the law and department policy, have his full support, he said. “Our standards do not change based on zip code, status or familiarity,” Young said, “regardless of who you are or who you may know.”
to a social media post by the Florida Department of Transportation.
The fire burned 20 vehicles at the Crazy Horse Campground near the Daytona Flea & Farmers Market, 1425 Tomoka Farms Road, Daytona Beach, a Volusia County press release said. The brush fires shut down all lanes of the interstate as firefighters worked to contain the flames.
The cause of the fire is under investigation.
Despite recent rainfall, wildfire danger remains high across Flagler County, according to Flagler Fire Rescue Chief Mike Tucker.
The county implemented a burn ban following a significant brush fire on Feb. 4 that threatened structures, including a church on Old Dixie Highway. Tucker said a combination of freezing temperatures followed by drought conditions has created extremely volatile fire conditions.
“The fuels the way they are right now, between the freeze and the drought, has just created some pretty much tinderbox conditions,” Tucker said. “That fire in particular really got big fast.”
After the fire, emergency management officials, county leadership and local fire chiefs agreed the timing was right to put a burn ban in place. The ban remains active and is renewed in seven-day increments, which is the maximum period allowed under county authority.
Although the area received rainfall this week, Tucker said it was not enough to significantly reduce the fire threat.
Over the weekend, firefighters responded to two additional wildfires — one burning approximately 100 acres and another that grew to about 500 acres. The larger fire occurred west of State Road

11, while the smaller blaze was reported in the southern portion of the county near the Lake Disston area. No structures were placed in danger during those incidents.
Flagler 16-yearold who exposed himself said it was a ‘prank’
A Flagler County 16-year-old who was arrested on Feb. 11 told Flagler County deputies he exposed his genitals to multiple women as a “prank.”
The Flagler County Sheriff’s Office the 16-year-old boy as the suspect in three cases involving women in Palm Coast on Jan. 30 and Feb. 11, a FCSO press release said. The 16-year-old has been charged with two counts of lewd or lascivious exhibition in the presence of an elderly person and two counts of exposure of sexual organs.
In both incidents, the victims — an elderly woman walking along Rydell Lane on Jan. 30 and two women walking on Piedmont Drive on Feb. 11, one of which was also elderly — described a young male in a white truck pulling up and asking for directions. The victims told deputies the suspect exposed his genitals to them before driving off. The 16-year-old later told detectives he got the idea to find women walking along from videos on a pornography website.
A coordinated investigation between the Flagler County Sheriff’s Office, Volusia Sheriff’s Office and the New Smyrna Beach Police Department has led to the arrest of a Palm Coast man accused of committing a string of commercial burglaries across two counties.
William Whitaker, 41, was taken into custody Feb. 12 after detectives caught him attempting to break into ABC Liquor in New Smyrna Beach, according to the Flagler County Sheriff’s Office. Investigators began linking the cases after a series of forced-entry burglaries between Feb. 7 and Feb. 10. Businesses in Flagler County were targeted, with the suspect shattering glass doors and stealing cash register drawers.
In Flagler County, deputies investigated burglaries at A.L. Prime Gas in Bunnell on Feb. 9 and Crystal Nail Salon in Palm Coast on Feb. 10. Surveillance video in both cases showed a suspect breaking glass doors and stealing cash from inside the businesses. The Bunnell Police Department also investigated a similar burglary at Grace Beauty Supply that authorities believe is connected. Flagler County Sheriff Rick Staly said the investigation advanced quickly. Whitaker’s Florida rap sheet spans 64 pages. “This was a team effort and did a
Palm Coast to recoup $2.375 million in splash pad settlement, ending a four-year lawsuit.
SIERRA
WILLIAMS STAFF WRITER
The Palm Coast City Council has reached a $2.375 million settlement in the four-year lawsuit over Holland Park’s faulty splash pad.
Palm Coast was asking for $2.4 million in damages, and worked through multiple mediations to get the defendants up to $2.375 million. The damages recover the costs associated with construction, design defects and repair of
those defects specifically related to the splash pad, according to a city press release.
The City Council unanimously approved the settlement agreement at its Feb. 17 meeting.
“We have done everything we could to recoup as much money as we could,” Mayor Mike Norris said. “This is our best resolution so far.”
The splash pad was a part of the second phase of a renovation at James F. Holland park that began in 2018. This phase cost $6.2 million, including new playground equipment, covered pavilions, improved lighting and the splash pad.
The park reopened in May 2021, but closed just months later in October after the
flooring began to delaminate.
A comprehensive engineering evaluation in June 2022 identified “substantial design, construction and installation deficiencies, including non-compliant surfacing materials, drainage failures, water loss issues, and other system defects that prevented the splash pad from operating as intended,” the press release said.
Palm Coast sued the contractors involved in 2022.
After two additional years of reconstruction work, conducted by Sabounji Construction, the splash pad reopened to the public in 2024. It has since been a popular amenity for Palm Coast families. It closes every winter sea -

son for maintenance and will reopen for the spring season on March 1, 2026.
None of the current City Council members were on the council during the Holland Park renovations or the following decision to sue the companies involved.
“We’re litigating against multiple parties. If any one of them appealed, four years from now we would still be having this conversation.”
THERESA PONTIERI, City Council
as an attorney, Pontieri said that even if they did win the lawsuit, there would still be the appellate court to deal with.
Vice Mayor Theresa Carli Pontieri, who is an attorney, said she felt the council fought hard for the settlement.
Speaking from her experience
The city managed to recoup everything it asked for except for around $25,000. Councilman Dave Sullivan pointed out that the city was at the “point of diminishing returns” if the lawsuit continued on and the rest of the council agreed.
“We’re litigating against multiple parties,” she said. “If any one of them appealed, four years from now we would still be having this conversation.” Councilman Ty Miller pointed out, for the public’s benefit, that the city was only legally allowed to go after damages associated with the failed portion of the project.
“We got basically everything we could,” Miller said.
AACS’ 23rd annual Youth Black History Program takes a step back in time to discuss current events.
The term “woke” can be traced back to a quote in 1938 by blues musician Huddie “Lead Belly” Ledbetter, in discussing his song, “The Scottsboro Boys.”
Warning African Americans in Alabama to stay vigilant against racial injustice, Ledbetter said, “I advise everybody, ‘Be a little careful when they go along through there — best stay woke, keep their eyes open.’”
The African American Cultural Society’s 23rd annual Youth Black History Program discussed a topical issue while going back to its historical roots. The theme of the program, presented Sunday, Feb. 15, at the AACS Cultural Center in Palm Coast, was, “Proud to be Woke!”
In explaining how the students came up with the theme, Harriett Whiting, the AACS Youth Black History Committee chairperson, said African Americans have used the word “woke” for years.
“It’s taken from a group of people who have been using this term for years, something that we think is very important and very positive,” she said. “And it’s been cast into such a negative light.”
Through skits and a panel discussion, students discussed some issues they face today such as literature removed from book shelves and history lessons reshaped.
In the skit, “Woke: Evolution & Pride,” a student says that making books unavailable “can lead to misunderstandings, stereotypes of

belief that experiences don’t matter. It also affects identity. For Black students, especially, seeing their history and culture presented in books can build pride and confidence. For others, it builds empathy and awareness. Without these stories, it’s harder for young people to fully understand themselves and each other and the world around them.”
Matanzas High School senior Sheldon Headley served as “griot” for the program. Headley has been involved in the AACS Youth Black History Program since he was in third grade. He also sang the song, “Rise Up.”
The Matanzas High School Blue Diamonds Step Team and the Mount Calvary Baptist Church Youth Dance Team performed.
The Flagler County NAACP Youth Council provided a panel discussion. Alana McDuffie and Nevaeh Walker were on the panel providing viewpoints to topics raised by Youth Council Advisor Samantha Brown and Advi -


sory Board member Deidra Burkley.
“Progress isn’t always steady,” McDuffie said. “Young people still believe in pushing forward.”





The City of Palm Coast is inviting residents to grab a cup of coffee and join the conversation through Coffee and Conversations with your City Manager, a monthly community meet-and-greet with City Manager Mike McGlothlin.
Upcoming Coffee and Conversations with the City Manager events are scheduled as follows:
9 a.m. March 6 at Panera Bread, 5880 State Route 100
9 a.m. April 10 at The Copper Lotus, 21 Hospital Drive, Unit 210
“I’m looking forward to hearing from residents, answering questions, and getting to know people a little better,” said McGlothlin. “I also want to thank the local businesses who’ve stepped up to host these events. Their support really shows how much of a community effort this is.”
The event is free and open to the public; however, registration is required so staff can plan accordingly for attendance. Coffee will be provided by the host restaurant Event details and registration are available atparksandrec.fun.
After demands to show Palm Coast the public benefit, ICI Homes has announced that it will be donating its Easthampton development to a nonprofit that helps essential workers become homeowners.
ICI Homes’ Nika Hosseini attended the Feb. 17 meeting to announce the offer to donate the property to FBH Community’s Homes Bring Hope program. Hosseini said should the Palm Coast City Council approve ICI Homes’ request for 71 residential units that approval would be contingent on ICI donating the development.
The Palm Coast City Council approved the application, contingent upon the donation, in a 4-1 vote.
Palm Coast Mayor Mike Norris was the only dissenting vote.
“It’s not in the best interest of the city,” Norris said. “It just adds to the total that are already in the queue.”
The idea stemmed from the Feb. 3 meetings’ demands for ICI Homes to show the public benefit. Hosseini said other jurisdictions are also looking for affordable housing for essential workers, veterans and first responders.
Easthampton, located just south of Eric Drive, north west of the State Road 100 and Belle Terre Boulevard intersection, is a 37-acre development in the E Section that is owned by CP and HG Residential Lots LLC, a subsidiary of ICI Homes.
The development has the entitlements to build 58 homes but had applied to extend that to 71 homes, with lot sizes ranging from 5,500 square feet to 8,250 square feet.
In the Feb. 3 Palm Coast City Council meeting, ICI Homes Vice President of Land Development Dick Smith told the council that it would be cost-prohibitive to build the approved 58 homes, which would each need to be sold at around $600,000 because of the overhead costs. The 71 entitlements would drop the costs to around $450,000.
But the council needed a public benefit. Vice Mayor Theresa Carli Pontieri also said the lots needed to meet Palm Coast’s minimum standards of 6,000 square feet.
On Feb. 17, ICI Homes offered their
changes: Instead of a minimum 5,500 square feet, they have the minimum 6,000 square feet. For public benefit, they added an open-space walking trail around the stormwater pond, connected to the internal sidewalk system.
And, to alleviate concerns about a future “break through” road being built to connect the E Section to State Road 100, ICI also confirmed a 1-foot, nonvehicular access easement for Palm Coast along the south end of the property.
But the real public benefit offered is the donation of all 71 homes to FBH Community.
FBH Community is the Hosseini family’s nonprofit, Hosseini said, and, through its program Homes Bring Hope, builds affordable homes for essential workers.
FBH Community founder Forough Hosseini said the homes are ICI-quality homes, attainable at the lower costs through service, property and financial donations with local contractors and partners.
“It is not a stick home. It is not a cheap home,” Forough Hosseini said. “It is a wonderful, affordable home that your teachers, your veterans, your law enforcement officers would not be able to afford otherwise.”
Pontieri said this is how the city creates affordable housing opportunities without subsidizing the costs through taxpayers.
“This relies on a nonprofit to do what we don’t want our residents to pay for,” she said.
Hosseini said the homes, once donated to FBH Community, could only be bought by essential workers through a restricted covenant placed on the properties.
Despite the offer from Hosseini and ICI Homes, almost none of the residents who attended the Feb. 17 meeting were swayed. Many were still adamantly against the smaller lot sizes and the additional 13 units.
Other residents questioned the logic of the proposal. Why is ICI Homes going to donate it and make no profit after just saying in the previous week that the request for more homes was to break even?
“If they’re willing to give up their



profit and donate this land,” E Section resident Greg Norton said, “then what’s the harm of going back to the 58 houses instead of 71 houses?”
Nika Hosseini said the need for 71 homes is still to meet cost requirements. Even with the discounted services and prices, nonprofits still need to to close the gap on developmental costs.
“A nonprofit can’t lose a significant amount of money, or they would ... not exist as a nonprofit,” Nika Hosseini said.
FBH Community also has programs to educate and help those in need, Forough Hosseini said. Qualifying purchasers are charged as much as they are approved for in loans with as little as $500 deposits, she said.
“Had it not been for our program,” Forough Hosseini, “these families [would] have never become homeowners; 90% of our clients pay less in their mortgage than they paid in their rent.”
Pontieri said she felt “very disappointed” in many of the public commentors who said they did not want affordable housing in their community. These are firefighters, nurses, teachers and other essential workers can not afford to live in Flagler and Palm Coast, she said.
Pontieri asked, for those who say affordable housing doesn’t fit “us”: Who is us?
“Is ‘us’ not our firefighters? Is ‘us’ not our police officers? Is ‘us’ not our teachers? Is ‘us’ not our nurses? Is ‘us’ not the guys that we depend on to dig out our swales?” Pontieri said. “To me, that’s ‘us.’”
Pontieri said this is not lowincome housing, but a way to support the frontline workers in the community.
“We, as public officials, have our community to look for ways to make our workers of this nature able to afford to live in our communities without costing our residents additional taxes,” Pontieri said. “I believe that we would be derelict in our duties to not move forward with this.”
Email Sierra Williams at sierra@ observerlocalnews.com.
Belle Terre Parkway safety project begins Palm Coast’s Belle Terre Safety Improvement project is set to begin construction on Monday, Feb. 23. The project, which spans south of Royal Palm Parkway near Fire Station 25, to just north of Pritchard Drive along Belle Terre Parkway, will provide traffic, safety and access management improvements along this stretch of the roadway. The safety improvements span from Royal Palms Parkway to Whiteview Parkway, a city press release said. The construction work will last around 13 months as additional or extended turn lanes are added along Belle Terre Parkway, the press release said. Motorists and pedestrians alike can expect to experience minimal delays during this period along Belle Terre Parkway, as well as at intersections along the road, which include Pritchard Drive, Whippoorwill Drive, Pine Grove Drive, Ponce De Leon Drive, Point Pleasant Drive, Rymfire Drive, Royal Palms Drive and Whiteview Parkway. These improvements will also require modifications to the sidewalks and drainage in the area, and the projects at Whiteview Parkway and Royal Palms Parkway will include the extensions of the existing left turn lanes as well as improving the signals at these intersections.
Signage and neighborhood signs will be improved as needed. State funding of $4.5 million has been allocated for this project. Whiteview Parkway is currently undergoing its own Safety Improvement project, slated to be completed in April.
The Belle Terre Safety Improvement project is set to be completed in increments, beginning on the south end near Royal Palms Parkway and moving north.


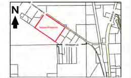
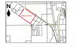
Maximum limits approved by Planning Board, for development near Seminole Woods.
SIERRA
WILLIAMS STAFF WRITER
A 500-home development on Seminole Woods Boulevard has been approved by the Flagler County Planning Board. The board recommended approval, 6-0, for the development application at its Feb. 10 meeting, and the Flagler County Commission will review it at an upcoming meeting. The development, owned by MPC Lots LLC, is a 119-acre property near the Grand Landings neighborhood.
Flagler County’s staff analyzed the application based on the “worst-case” scenario, or the maximum the development would be able to build under the mixed use-high intensity zoning and planned unit development land use. That worst-case scenario would include 71.4 acres of residential and 47.6 acres of commercial, with a minimum requirement of 30 acres of stormwater and common areas as open space. The applicant has self-imposed a density cap of seven units per acre on the development.
With that cap, the development is approved for a maximum 502 residential units, a mix of single family homes, townhomes and apartments.
The minimum lot size for a single family home would be 4,000 square feet, with the smallest allowable living space at 700 square feet.
The analyzed scenario would allow for almost 830,000 of
commercial space, including an assisted living facility.
Though the county is required to analyze by that “worst-case” scenario, the application’s master plan apportions the property differently. Instead of 71 acres of residential land, they’re planning for 61 acres of residential.
The plan also outlines only 23.3 acres of commercial land, instead of 47 acres, with 16 acres of common area and 18.7 of stormwater.
Planning Board member Timothy Connor asked attorney Michael Chiumento explicitly if that development would “go anywhere near” the 830,000 square feet of commercial space.
“That is a cartoon,” Chiumento said. “That is the process the county and state require us to do.”
“You’re not proposing anywhere near that floor area?” Connor asked.
“No,” Chiumento said. Connor asked staff if those statements were binding for when the developer returns for site plan and final plat approval, which is where the developer maps out the land in specific lots.
County planner Simone Kenny said the developer is beholden to the conceptual master plan and the PUD development agreement.
“If they did anything that was substantially inconsistent with that master plan, they would have to come back for a new public hearing,” she said.
Many residents in the surrounding area, including from the Grand Landings neighborhood attended to ask the planning board to deny the application. Most were concerned about the size of the development, including the 830,000 square feet of com-
mercial space.
“We don’t need to become Volusia County,” resident James Carlin said.
Chiumento said he could appreciate the residents’ feeling about the concern that their “sleepy community” is going away, but, he said, this was always the plan for Flagler County and Palm Coast.
Chiumento referenced Flagler County’s comprehensive plan, approved in the 1970s, and Palm Coast’s 2004 comprehensive plan, both of which, he said, called for development of this size.
“This plan has been in place for over 50 years,” Chiumento said. Later, he added: “This concept has always been a part of the community.”
The October 2025 traffic study conducted for this application found the development would add 1,416 additional traffic trips during peak hours in the evening, which, according to county and Palm Coast analyses, does not exceed the capacity of Seminole Woods Boulevard.
But where would these new homes and businesses get their water and sewer from? From Palm Coast.
The Planning Board had asked at a previous meeting to hear from the city if it had capacity to supply the water for this development. The city said it did.
“We don’t have any issues of water, sewer or reuse in that area,” Chiumento said. Typically, a property that is using the city’s water would need to be annexed, per the city’s policy. But an early 2000s settlement between Flagler County, Palm Coast and Flagler Beach known as the Water Wars agreement states that the annexation would not apply to this development.
Tensions rise during Feb. 12 meeting after commissioner moves to terminate city manager’s contract.
RICH CARROLL CONTRIBUTING WRITER
Concerns about leadership at City Hall took center stage during the Thursday, Feb. 12, Flagler Beach City Commission meeting, culminating in a motion from the floor to terminate City Manager Dale Martin.
During commissioner comments Thursday night, Commissioner Rick Belhumeur said, “I have some concerns about the direction that the city’s going.”
As he spoke, Belhumeur handed a packet to each commissioner outlining his complaints. The materials, which he said were compiled through public records requests and communications, allege a pattern of policy violations and administrative misconduct.
One document titled “Policy Violations Report” alleges intentional departures from
commission enacted policies in areas including hiring practices, compensation and benefits administration, procurement integrity and postconduct misrepresentation.
The document references potential statutory implications and cites categories such as official misconduct, abuse of public position and procurement fraud.
Another document titled “Improper Hiring and Nepotism – Project Manager Position” claims the hiring process for a project manager position involved procedural impropriety, favoritism and a conflict of interest. The document alleges the city failed to follow mandatory internal posting requirements and prematurely removed a job listing from public visibility.
During the Feb. 12 meeting, Belhumeur argued the commission has a responsibility to hold the city manager accountable and emphasized that “accountability” is at the top of a list he reviews weekly with Martin. He alleged that Martin does not hold staff accountable, criticized changes to the city’s organizational chart without commission approval and questioned

hiring standards and internal personnel procedures.
Belhumeur also raised concerns about permitting related to the 22-unit Legacy Point development at the end of Leslie Street. He described what he said was a “site work only” permit issued outside typical building department procedures.
Belhumeur formally requested that the commission hold a workshop to review what he described as documented concerns in greater detail.
Commissioner Eric Cooley pushed back, saying the concerns needed to be clearly defined and properly noticed before the commission could take action.
“This strikes me as an agenda item request,” Cooley said. He later added, “If we want to talk about city manager, we can talk about city manager, but that is it,” emphasizing that discussion should remain focused specifically on the city manager’s role. The discussion intensified when Commissioner John Cunningham voiced agreement with concerns about management and made a motion “to terminate the city manager’s contract with the city of Flagler Beach.”
City Attorney Drew Smith advised that such action could not be taken during commissioner comments and would need to return as a noticed agenda item. The motion did not proceed to a vote.
Speaking with the Observer after Thursday’s meeting, Martin said he looks forward to the conversation. No formal action was taken. The matter is expected to return to the commission as a future agenda item for further discussion.


Four of five dispute issues are resolved, as officials work to protect floodplain land and avoid court action.
RICH CARROLL STAFF WRITER
Flagler County and the city of Flagler Beach continued negotiations Feb. 13 over the Summertown development, working to resolve disagreements that could otherwise lead to a lawsuit.
The conflict began after Flagler Beach approved annexation and land use changes for
Former School Board member
Trevor Tucker files for District 4 race
Former Flagler County School Board member Trevor Tucker has filed to run again for the District 4 seat.
Tucker filed with the Flagler County Supervisor of Elections Office on Wednesday, Feb. 11, joining the race for the west Flagler School Board seat with incumbent Christy Chong and challenger Ron Long. Tucker served on the board for nearly 13 years. The Bunnell business owner was appointed to fill a vancancy in January, 2010, and won elections in November 2010, 2014 and 2018. Tucker ran again in 2022, losing to Chong, who won with 55% of the vote. Tucker has never been a big
the 500-acre Summertown project in January. Flagler County later raised concerns that parts of the approval conflicted with comprehensive plan policies and previous agreements.
The county identified five areas of concern: reclaimed water service, floodplain protection, residential density in a coastal high hazard area, traffic impacts on John Anderson Highway and longterm road maintenance funding.
Under state law, local governments must attempt a formal conflict resolution process before filing a lawsuit against another government. To allow negotiations

campaigner. He said that will change this year.
“There are so many new people in the county, so I will have to campaign if I want to win an election and be on the board,” he said.
He said if he wins he hopes to create more congeniality on the board, so it can work more as a unit.
“I’m running because I have a 4-year-old who will be start-
to continue, the county and city signed a tolling agreement that pauses legal deadlines while discussions move forward.
During the Feb. 13 session, officials reported that four of the five issues have now been resolved in principle, pending final approval from both governing boards. The only remaining issue involves about 153 acres of floodplain on Bulow Creek.
County officials want to ensure that land remains protected from development, even if a potential sale of the property does not happen.
County Attorney Michael Rodriguez said the county is seeking assurances that the
ing school shortly, and right now it seems like the board is dysfunctional,” he said. “You have to come in with the mindset of working with everyone.”
Tucker said that when he was the board chair he held public one-on-one meetings with each board member.
“I’d ask what issues are you passionate about and what can we do to make sure you’re being heard as well as everyone else’s voice on the board,” Tucker said. “I don’t see many one-on-one conversations now. I don’t know if the current members even know they’re allowed to do that. It just needs to be publicly advertised and open to the public.”
Three seats will be open this year. Former board member Jill Woolbright and Cathy Moon are running in District 1. Incumbent Will Furry is currently running unopposed in District 2.

floodplain will not be built on if a purchase agreement falls through.
“Our main concern is that if the deal falls through, what protections remain in place?” Rodriguez said during the meeting.
Developer Ken Belshe of Sunbelt Land Management said the developer has already agreed to sell the floodplain land at fair market value but does not support adding new conditions beyond what was previously negotiated.
“We had an agreement,” Belshe said. “We all shook hands when that was done. Now we’re retrading the deal again. I don’t think that’s fair.”
Belshe said he has repeat -
A bill that would make it harder for undocumented immigrants to obtain certain licenses and financial assistance advanced in the Florida House.
The measure (HB 1307) would prohibit “unauthorized aliens” from getting any licenses the state Department of Financial Services issues, such as those related to insurance. It also would give the Division of Risk Management discretion to deny illegal immigrants’ claims, require all testing for commercial driver’s licenses to be conducted only in English and make undocumented immigrants ineligible to receive workers’ compensation.
“Florida has led the nation in fighting the dangers of illegal immigration, protecting its communities and shaping anti-illegal immigration policies,” said bill sponsor Rep. Berny Jacques, R-Seminole,
edly stated that he is willing to sell the land.
“I’ve said many times we’re a willing seller of the property and I’d rather sell it than develop it,” Belshe said. “But I can’t give it to you.”
Developer attorney Michael Chiumento also opposed reopening portions of the development agreement.
“The answer is no,” Chiumento said regarding adding new requirements. “We are not opening up the PUD again. We will enter into the agreement that was negotiated.”
County officials stressed that they are not trying to stop the project but want stronger protections for the floodplain.
“We don’t want to kill
who was born in Haiti. “From E-Verify requirements, participating in the 287(g) program and protecting taxpayerfunded programs, Florida has created the blueprint for other states to follow.”
The bill passed on a mostly party line 20-5 vote through the House Commerce Committee, with Rep. Kimberly Daniels of Jacksonville the only Democrat to vote for it.
The House Justice Budget Subcommittee unanimously advanced a bill that would increase penalties for sexual offenses against children.
The bill (HB 1159), sponsored by Rep. Berny Jacques, R-Seminole, reclassifies child pornography offenses, such as moving the use of a child in a sexual performance from a second degree felony to a first degree felony and requiring a
the deal,” Flagler County Administrator Heidi Petito said. “We’re just looking to strengthen the language.” With four of the five issues resolved, both sides said progress has been made. However, the floodplain question remains unsettled. Any final agreement must be approved by both the Flagler County Commission and the Flagler Beach City Commission before becoming official. Leaders from both governments said they prefer a negotiated solution rather than going to court, but further discussions will be needed before the Summertown dispute is fully resolved.
mandatory minimum 15-year prison sentence. It would also expand the definition of child pornography in law as a content with at least one image of a child who is younger than 12. Previously, the age was 5.
Rep. Mike Gottlieb, D-Davie, asked about a “Romeo and Juliet issue” with the bill. That refers to provisions that would prohibit teenagers with a small age gap – often two to four years – who engage in a consensual sexual relationship from being prosecuted as adults.
“There might be an avenue where we can make it much more clear so those who are in that situation are not unfairly treated,” Jacques responded. “We will consider any amendment.”
The bill has one more committee hurdle, the House Judiciary Committee, before making it to the House floor.
The Senate version of the bill (SB 1750) has passed through one committee and has two more hearings.


Commissioners debate shade structures as concrete test piles mark visible progress on new pier.
RICH CARROLL STAFF WRITER
Construction of the new Flagler Beach Pier remains on schedule as city leaders continue refining decisions on shade structures, benches and other amenities that will shape the final look of the landmark.
During a Feb. 12 City Commission meeting, Project Manager Gabe Perdomo of Moffatt and Nichol presented an update on pier furniture and features, outlining what has already been included in construction documents and where final direction from commissioners is still needed.
“The design shows three that are on the pier,” Perdomo said of the proposed tension shade structures planned for the outer half of the pier. Each structure would be approximately 23 feet wide and 40 feet long and built with marine grade shade fabric, stainless steel cables and framing designed to meet the same 135 mph wind load standards as the pier itself. However, not all commissioners are sold on the scale of the structures.
Commissioner Eric Cooley questioned whether the large shade features were necessary, noting that many Florida piers operate without prominent fabric canopies.
“I find them to be odd,” Cooley said, adding that most piers he has visited have either no shade structures or much smaller, more modest options. He also raised concerns about long term maintenance and storm preparation, suggesting the city consider reducing the size or number of shade structures if they move forward with them.
In addition to shade structures, the design includes 17 benches with side tables placed along the outer half of the pier and beneath shaded areas. Materials under consideration include aluminum or wood frames with recycled planks or powder coated finishes, with final selections still to be confirmed.
Three fish cleaning stations are also part of the plan, positioned along the south side of the pier. Perdomo described them as traditional marina style tables constructed of marine grade aluminum with high density polymer cutting surfaces and stainless steel fasteners to withstand the saltwater environment.
Trash receptacles sparked additional discussion. Perdomo noted that permanent trash cans were not included in the contractor’s bid and would need to be selected separately by the city. Cooley recommended movable “tippy carts” rather than stationary cans to allow for easier storm preparation and cleanup, particularly during hurricane season.
City officials also provided a construction update.
City Manager Dale Martin said the project remains within its expected timeline.
“Progress is going well. We’re well within the anticipated window of where we should be,” Martin said.
One of the most visible recent milestones has been the installation of concrete test piles.
“The most significant recent development has been the driving of the concrete test piles,” Martin said, noting residents and visitors have likely noticed the work.
City officials also met with state and FEMA representatives to review the project’s status.

“They, too, are satisfied with the progress and excited to see the project coming out of the ground and look forward to a rapid completion,” Martin said. The new pier is expected to be completed in approximately one year.
As construction advances, commissioners are balancing aesthetic enhancements
with long term durability and maintenance concerns.
Final decisions on shade structures, seating and other amenities will help define the experience of the rebuilt pier — a structure designed to be wider, longer and more resilient than its predecessor while continuing to serve as one of Flagler Beach’s most iconic gathering places.
The City of Flagler Beach proposes to adopt the following ordinance entitled:
An Ordinance by the City Commission of the City of Flagler Beach, Florida, amending Appendix "A" Land Development Regulations, Article II, Zoning; amending Section 2.04.02.9. related to barrier island residential development standards; amending lot area, density, and lot width requirements; providing for inclusion in the Code of Ordinances; providing for conflicts; providing an effective date hereof
City Commission: Thursday, February 12, 2026 @ 5:30 p m or soon thereafter
City Commission: Thursday, February 26, 2026 @ 5:30 p m or soon thereafter
The public hearings may be continued to a future date or dates The times and dates of any continuance of a public hearing shall be announced during the public hearing without any further published notice. The request will be heard at 5:30 PM, or as soon thereafter as possible, in the City Commission Chambers located at 105 South Second Street, Flagler Beach, Florida If a person decides to appeal any decision made with respect to any matter considered at the above referenced hearings, he/she will need a record of the proceedings For such purposes, it may be necessary to ensure that a verbatim record of the proceedings is made, which record includes the testimony and evidence upon which the appeal is to be based In accordance with the Americans with Disabilities Act, persons needing assistance to participate in any of these proceedings should contact the City Clerk’s Office at 386-517-2000 Ext 233 at least 48 hours prior to the meeting 7763-334072 Jan 29, Feb 19, 2026








Florida’s chief financial officer presented a total of $1.7 million to six local law enforcement agencies.
JARLEENE ALMENAS
MANAGING EDITOR
Florida Chief Financial Officer Blaise Ingoglia presented law enforcement agencies in Volusia and Flagler counties, during a stop in Daytona Beach on Feb. 11, with over $1.7 million to support immigration enforcement.
Touting enhanced criminal penalties for immigrants living in the United States without permanent legal status, Ingoglia spoke during the news conference about measures to reduce illegal immi-
gration in the state, including stopping the issuance of driver’s licenses and IDs, mandatory DNA testing for those who are suspected of committing a crime, in-state tuition and the banning of sanctuary cities.
The state also mandated that local and state law enforcement agencies partner with U.S. Immigration and Customs Enforcement to identify people residing in the state illegally. The funds awarded to local law enforcement agencies through the State Board of Immigration for Florida were a reimbursement for their work in immigration enforcement-related activities.
“Through these reimbursements, the state of Florida is ensuring that every law enforcement agency has the resources that it needs to
enforce our nation’s laws, immigration laws and to protect our citizens,” Ingoglia said. “Because we know that in order to stop the stem of illegal immigration, you have to create deterrence. You have to get rid of the magnets, and there is no bigger deterrent than these guys standing behind me and the hard work that their brothers and sisters do in our communities keeping us safe.”
The Flagler County Sheriff’s Office received the largest sum of funds, at $725,874.50.
The Observer contacted the FCSO to inquire about the number of ICE-related arrests made from 2025 to date; an FCSO spokesperson said in an email that “this information is subject to public disclosure pursuant to provisions of applicable federal laws, regulations, and executive orders.
As such, all inquiries regarding detainees must be directed to the Public Affairs Office for ICE.”
At the news conference, Staly said that the funds help the FCSO train deputies to support ICE, as well as purchase new equipment, such as rapid ID technology and a body camera system that allows for instant translation in over 50 languages.
The funds also help to provide stipends to deputies who participated, or obtained training, to support ICE.


Interested
The City Commission proposes to adopt Ordinance No 2025-23 Entitled: AN ORDINANCE OF THE CITY COMMISSION OF THE CITY OF FLAGLER BEACH, FLORIDA , AMENDING THE COMPREHENSIVE PLAN FUTURE LAND USE MAP DESIGNATION FOR APPROXIMATELY
An
The City Commission will hold a public hearing for the proposed FLUM amendment on (1) *February 26, 2026* at 5:30 PM, or as soon thereafter as possible, in the City Commission Chambers of City Hall located at 105 S 2nd Street, Flagler Beach, Florida The purpose of this hearing is for the City Commission to act upon and adopt Ordinance 2025-23.
The public hearing may be continued to a future date or dates The times and dates of any continuances of a public hearing shall be announced during the public hearing without further published notice
Interested parties may appear at the meeting and be heard with respect to the proposed ordinance Copies of the proposed Ordinance may be inspected or obtained from the office of the City Clerk 105 S 2nd Street Flagler Beach Florida (386) 517-2000 Ext 233. For further information about this request please call the Planning and Building Department at (386) 517-2000 Ext 231. The application file with more detailed information about the proposed FLUM amendment may be inspected by the public during office hours at the Planning and Building Department, 800 S Daytona Ave., Flagler Beach, Florida
If a


Staly spoke about cases in which crimes were committed in Flagler County by a person without legal status, such as a Cuban national who was arrested for sexually assaulting a minor in 2025. He was recently sentenced to six years in prison and will be deported after his sentence. Staly also mentioned another Cuban national arrested last month for felony theft of nearly $4,000 in meat from a Publix, the December 2025 arrest of two Colombian nationals involved in a residential burglary that happened in 2023, and a Russian national arrested for credit card fraud.
“Unlike what you see in some cities and counties across the country, the Flagler County Sheriff’s Office will always work with our federal partners — will always work with ICE to identify and arrest criminals who enter our country illegally and commit crime,” Staly said.
Volusia County Corrections received $505,789.48, and the Volusia Sheriff’s Office received $334,262.30.
Since February 2025, VSO deputies have recorded about 220 encounters with people who have been referred to ICE or U.S. Customs and Border Protection for immigration detainers.
VSO used $221,000 to purchase rapid identification fingerprint machines that are tied to ICE’s database. The rest of the funds have been used to compensate deputies for training and participation in ICE operations.
In his 38 years in law enforcement, Chitwood said, police have always cooperated with ICE. He criticized the Biden administration for not responding when VSO notified the federal government that an illegal immigration arrest had been made.
“Now it’s different,” Chitwood said. “When you pick up the phone, you get resources immediately to help you do your job, to do what you need.”
Three city police departments also received funds: Daytona Beach Police Department ($133,721.30), Daytona Beach Shores Department of Public Safety ($53,750.82) and Holly Hill Police Department ($32,468.83).
DBPD reported to the Observer zero arrests or detentions in connection to ICE-enforcement actions from 2025 to date.
Ormond Beach Police Department did not receive a reimbursement; from 2025 to date, the agency has reported two ICE-related incidents.
At the news conference, Ingoglia also spoke about new legislation to “further disincentivize illegal immigration.” Under his proposed legislation — House Bill 1307 — people living in the state illegally would be prohibited from obtaining commercial driver’s licenses, and would stop licensing instructing testing and procedures to be given in any language other than English.
Additionally, he announced that they would be proposing an amendment to the bill to extend Florida’s HALO law to prevent people from filming federal agents within a distance of 25 feet.
In states like Minnesota, federal agents have been filmed by the citizens during ICE-related activity, leading to public outcry and scrutiny, particularly after the fatal shootings of Renée Good and Alex Pretti.
“Florida is not Minnesota, and there is a reason why we do not have protesters and agitators blocking our streets and destroying our downtowns,” Ingoglia said. “When we say we support law enforcement partners, we mean all of our law enforcement partners, including federal law enforcement.”

Mexx will replace the Fusion 386 restaurant on S.R. A1A.
SIERRA WILLIAMS STAFF WRITER
Plans for the future Modern Mexx restaurant in The Hammock have garnered approval from the Flagler County Planning Board, despite concerns over variance requests to setbacks and parking.
Modern Mexx will replace the dilapidated Fusion 386 building at 5949 N. Ocean Shore Blvd. The site is currently out of sync with Flagler County’s Land Development Code setback requirements as it is. Plans for the new restaurant, recently purchased by A1A 5949 LLC, include moving the building to the rear northeast corner of the L-shaped lot and building a 2,800-square-foot building.
Attorney Jay Livingston, representing the owners, said in order to preserve as many trees on the property as possible, the owners are asking for a variance of 33 parking spaces with six stall bike rack spaces, instead of the required 41 parking spaces.
To accommodate the request, the owners have worked out an agreement with the neighboring Debra Jean’s coffee shop to use five of their overflow parking spaces for Modern Mexx’s employees.
Owner Mike Bennici told the Planning Board that they are trying to be proactive in finding solutions. The original intention was to renovate the existing building.
“We thought, because of setbacks, it would be best for the neighbors, everybody, to move it to a different location,” Bennici said.
The owners also sought special exceptions for setbacks, including a 15-foot landscape buffer instead of a 25-foot buffer, and a 15-foot
setback instead of 25 feet from the neighboring residents.
Moving the restaurant will also require Modern Mexx to connect to Palm Coast’s water and sewer lines.
Board member Timothy Connor said that though the setbacks do not meet the requirements of the LDC, they are still an improvement to the existing building. The proposed 15-foot landscape buffer, for example, would still be adding 15 feet of landscape that does not currently exist.
“I think the variance request is reasonable under the circumstances,” Connor said.
The Planning Board unanimously approved the special exception request for the setbacks and the variance application for the parking. The Flagler County Commission will still need to review and approve the variance request.
The restaurant will have an estimated 1,800 square feet of seating space, though ultimately that number could change depending on whether the commission approves the parking variance.
Most of the residents who came out to speak against the changes live in the area and had concerns about the number of variances and exceptions requested by the future Modern Mexx.
“The project’s just too intense for this small parcel it’s got,” said Dennis Clark with Scenic A1A Pride. “It’s just too big.”
Bob Green, who lives in the house directly behind the lot on Milwaukee Avenue, is concerned about how the larger restaurant with more parking will impact his property values and quality of life.
“I want a restaurant there almost bad as you guys do,” Green said. “And I think one can be put there. I don’t necessarily think that it has to be at that particular mark.”


Dr. Angelo Ippolito and Denise Martino celebrated Palm Coast Health’s move across town, from Old Kings Road to the new office in City Marketplace, Suite A113B, at a ribbon cutting on Feb. 11, in conjunction with the Palm Coast-Flagler Regional Chamber of Commerce.
At the celebration, Ippolito welcomed friends and business associates, as well as patients.
“Patients — I can’t identify you; it’s a HIPAA violation,” Ippolito quipped.
He also praised the team who works with him: massage therapists Keri Bebout, Porter Kuhn and acupuncturist Dr. L.J. Sporbert.
Ippolito specializes in spinal decompression. Visit palmcoasthealth.com.
On Feb. 6, Gov. Ron DeSantis reappointed four people to the Halifax Health Board of Commissioners: Audrey Butler, Harold Goodemote, Andrew Lupoli, and Thomas McCall.
Halifax Health adds two doctors
Two new physicians have joined Halifax Health.
Dr. Basheer Elsolh is a surgical oncologist, specializing in the management of breast cancer, gastrointestinal and colorectal cancers, melanoma and soft tissue sarcoma.
Dr. Katelyn Joubert is a fellowship-trained ophthalmologist specializing in oculoplastic surgery.
New eats at One Daytona
New restaurants are coming soon to One Daytona.
F&D Cantina will take over the former Rock Bottom space in fall 2026. The restaurant will offer Mexican dishes and cocktails, a speakeasy tequila bar and a rooftop bar. This will be the brand’s first location in Volusia County.
Also coming to One Daytona is Grain & Berry, a superfood cafe known for açai bowls, smoothies, flatbreads and more. The One Daytona cafe will also be this brand’s first in Volusia County. Grain & Berry is expected to open this spring.
Tiano’s Cucina Italian will open a wine bar and deli next door. A grand opening will be held before the spring.
Pink FRYDAY will open late summer at One Daytona. The restaurant will offer Korean fried chicken, mochi and other items.


The Flagler County Commission and Bunnell City Commission proclaimed Feb. 9-13 as Phlebotomists Recognition Week. Palm Coast is scheduled to also issue a proclamation at its 9 a.m. Feb. 17 meeting.
The proclamations recognize the essential role phlebotomists play in healthcare, performing skilled blood collection procedures critical to diagnosis, treatment and prevention of disease.
Amelia Drew, a student in the Salus Medical Training Phle-
botomy Certification Program, was recognized at Bunnell’s proclamation. Drew already secured three job interviews prior to completing the program.
“These proclamations reflect workforce development, health care excellence and the dedication of students stepping into meaningful careers serving our community,” Salus Medical Training owner Lauren Ramirez said.
Since launching its programs, Salus Medical Training has certified 47 phlebotomy technicians and over 70 medical assistants, maintaining a 100%
certification exam pass rate across both programs.
Kistemaker to speak at webinar
Attorney Erum Kistemaker, managing attorney and shareholder of Kistemaker Business Law Group, will be the key speaker at a webinar on Feb. 25. Kistemaker was invited to speak at the free virtual event by the Florida Department of Business & Professional Regulation. The webinar, titled “CAMs & Their Relationship to Associations — Part 2.”





100

BRIAN MCMILLAN PUBLISHER

I passed a fire engine on the road the other day and marveled at how perfect it looked: clean, tidy, professional. Then I had two thoughts.
First, I rarely feel like I have time to get organized and do the “deep cleaning” that leads to excellence. Time for working on the business, instead of for the business, is a luxury I
often can’t afford; in reality, most of our efforts in life seem focused on the chaotic frontiers of our activities. Second, that doesn’t make me jealous of the fire department; it makes me happy that our community invests enough so that I feel confident in the excellence of our public safety agencies.
Feb. 13: Russell M. Nelson once said, “The Lord loves
Gambaro’s credentials make him ideal candidate
Dear Editor: I was pleased to learn that State Attorney R.J. Larizza has endorsed Charles Gambaro, our current Palm Coast City Council member and candidate for U.S. Congress in Florida’s 6th District race. He also has secured a highprofile endorsement from former Secretary of Defense, Christoper Miller, as well as the Palm Coast Professional Firefighters Union. His impressive credentials and experience make for an ideal candidate.
Locally, Councilman Gambaro gained respect during his relatively brief time on our City Council for enduring spurious attacks on his character, grossly unfounded allegations of corruption, an attack to his right to hold his council seat and petty name calling, all emanating from our mayor. He can also be applauded for heading up the call, and garnering the support of the full council, for an investigation of the mayor. That investigation found the mayor responsible for a violation of the City Charter and culpable for creating a toxic work environment. Gambaro was resolved to do the right thing and hold a mayor accountable for his actions. His courage to address a mayor’s leadership failures and shortcomings, is an example of character strength we should be looking for. Our city governance now seems a bit less corrosive, in part as a result of Gambaro’s successful push for accountability.
Overall, Gambaro’s almost impeccable credentials and especially his character should substantially overshadow his prime political opponent, Randy Fine, who is well known for bombastic and unhinged language, and has been described by our governor as having a tendency to “repel people.” It’s also noteworthy that although not legally required to live in the congressional district you represent, Fine does not. He lives around 150 miles away while Gambaro is a Palm Coast hometown guy whose representation in Congress may work to our favor.
PHIL GREENE Palm Coast
Volusia Forever means ‘forever’
Dear Council Chair and members of the County Council: We write to you today to encourage you to stay the course with Volusia Forever. The voting electorate knew what they were voting for when they voted overwhelmingly in 2020 to reauthorize this now 25 year land preservation program. As of now we have preserved approximately 63,000 acres of land under our three voter-approved programs, beginning in 1986 with Endangered Lands to be followed by the referendum in 2000 and now 2020. Each time the program meets the needs of the residents of this county. And the percentage of approval has grown.
Your staff working with the advisory board has done a very good job of preserving
the land and honoring the wishes of the voters. Trust them to take us forward with this latest version of Forever.
Seventy-six percent of the voters knew that when they voted yes for Volusia Forever, forever meant exactly that: forever.
JULIE AND KEN SIPES
Ormond Beach
Editor’s note: This letter was originally sent to the Volusia County Council and reposted in the Observer per the citizens’ request.
The cost of green grass in medians is too high
Dear Editor:
I’ve written several letters, emails, social media posts, etc., over several years regarding the high cost to maintain green grass in the medians, right of ways and other public landscaping, not only directly to taxpayers via government budget, but for regular watering and mowing but also for the environmental costs chemicals are also used to maintain. In recent weeks, we have seen that despite even those resources being consistently expended, Mother Nature will humble us by turning much of that green grass, and other shrubbery, brown. I once again encourage decision-makers in our governments to re-evaluate their approach towards landscaping sustainability, cost and environmental impacts. There is a better way.
JOE HANNOUSH
Ormond Beach

Tomoka Christian welcomes hundreds for Night to Shine
Tomoka Christian Church in Ormond Beach joined churches around the world Friday, Feb. 13, in hosting the 2026 Night to Shine, a global celebration honoring people with special needs and sponsored by the Tim Tebow Foundation. Held annually on the Friday before Valentine’s Day, Night to Shine is designed to recognize and celebrate individuals with disabilities as valued and honored members of their communities. This year’s event at Tomoka Christian
Church drew more than 600 volunteers and more than 600 guests, including 480 VIPs, along with approximately 800 parents and caregivers who attended to support their loved ones.
The evening began with a red-carpet entrance, where guests were greeted by cheering volunteers and photographers. Inside, attendees enjoyed a full prom-style experience complete with hair and makeup stations, shoeshines, limousine rides, karaoke, dancing and a catered dinner. The church also provided a Sensory Room for guests who needed a quieter space and a Respite Room offering rest and refreshments for parents and caregivers. The celebration concluded with a ceremony in which every honored guest was crowned king or queen.
As the event sponsor,

effort.” I read that quote in the seminary class I teach in the mornings, and a teenage student said something like this: “Effort is worship.” I’ve been thinking about that ever since. How can I learn to love effort as much as God does? How can I turn my effort — of any kind — into a worship experience?
LONGER LEGS
Feb. 14: My 7-year-old son, Luke, is learning to dribble a basketball between his legs, but he keeps losing control
Dear Editor:
Over nine months have passed since our mayor made public the disturbing allegation that a local developer attempted to bribe him. He dropped the bombshell, surprisingly identifying the developer, during City Council meetings in May 2025.
The mayor portrayed the bribe attempt that had occurred months previously, as a “quid pro quo” offer for a developer friendly vote. The encounter was witnessed by his wife, but he claimed neither kept any notes, had no memorialized written account of the encounter and, of course, no recording. He stated he kept the details only “in his mind,” and curiously never reported the crime to law enforcement.
Having a credible story is about having the discipline to ensure that when you accuse someone of a felony, you have the goods to back it up, a position echoed by our local sheriff who believed the mayor’s public disclosures had fatally tainted the whole matter and was a textbook example of what not to do. Regardless, the mayor opted to refer the case, warts and all, to state law enforcement officials. Waiting so long to do so alone speaks to problematic judgment and is just one of a number of his questionable decisions in need of scrutiny.
The mayor is known for generating conspiracy theories of corruption among city employees, fellow council members and area developers without a lick of proof. And thus far, including a recent city risk assessment audit that found no apparent

the Tim Tebow Foundation provides host churches with planning resources, staff guidance, access to financial grants and other support to help create a memorable experience. Churches also gain access to Shine On, the foundation’s faith-based disability ministry. Over the past 11 years, Night to Shine has reached more than half a million honored guests worldwide, supported by more than 1 million volunteers through participating churches.
— ALEXIS MILLER
of the ball. So I drew him a stick figure on a piece of paper to illustrate some tips for improvement. But before showing him, I decided to figure out what his assessment was first, so I asked this question: “What is the most important thing to help you dribble between your legs better?”
His response: “I need to grow longer legs.”
Ultimately, he’s probably right. It was a good reminder to be patient as my children grow up.
corruption, evidence remains nonexistent.
The mayor made public the bombshell bribe allegation. He owns it, and we should now expect a statement from him. An update is overdue and it’s incumbent upon the City Council to begin asking questions, push for answers and expect transparency. Was his case declined, deemed not actionable because of its glaring shortcomings, or is it still active after all this time?
However, for the mayor, facing fading credibility, it’s to his advantage to stay silent, keeping the public in the dark, and the mystery alive. But meanwhile, Palm Coast is left wondering if its mayor is simply tilting at windmills. Is he crying wolf, or was there actually wrongdoing?
As his tales of corruption drag on, the mayor finds himself in a paradox. By attempting to look like the “incorruptible hero,” his lack of evidence continues to make him look more like just another “firebrand politician” who lit a firestorm without a match.
BOB GORDON Palm Coast
We all need to try harder to love our neighbor
Dear Editor: I think I can speak for many of my fellow citizens when I say we have had enough of the immature politicians and internet trolls that have become so ubiquitous lately.
They are poisoning our shared culture and values. I recommend listening closely to, and taking to heart, the Apostle Paul’s advice from
Salty Church brews up community with grand opening of The Boardroom
Salty Church marked a new chapter in its 20-year history Friday with the grand opening of The Boardroom Coffee Co., transforming the former Lulu’s Oceanside Grill into a coastal-inspired coffeehouse designed to foster connection and community.
The Valentine’s Day opening, held Feb. 14 from 7 a.m. to 2 p.m., drew a steady stream of residents eager to get a first look — and first taste — of the church’s newest venture. Guests were treated to specialty coffee sourced from Steel Oak Coffee, the debut of the shop’s waffle menu, free Boardroom stickers and hourly raffle drawings.
Founded in 2005, Salty Church has grown into a multi-campus ministry serving communities across Volusia and Flagler counties. The purchase of the 5,043-square-foot property for $1.5 million, according to Volusia County Property Appraiser records, expanded the church’s footprint in Ormond Beach and created space for a vision years in the making.
Founder and Lead Pastor Robbie O’Brien has described the project as more than a business endeavor. By day, The Boardroom operates as a full-service coffee shop. On weekends, it will also serve as
readers.
Publisher Brian McMillan, brian@observerlocalnews.com
Managing Editor Jarleene Almenas, jarleene@observerlocalnews.com
Associate Editor Brent Woronoff, brent@observerlocalnews.com
Staff Writer Sierra Williams, sierra@observerlocalnews.com
Staff Writer Rich Carroll, rich@ observerlocalnews.com
Operation and Design Manager Hailey McMillan, hailey@observerlocalnews.com
Marketing Consultants April Koehler, april@observerlocalnews.com; Travis Hurlbut, travis@observerlocalnews.com Office
SUBSCRIBE
the mid-first century. St. Paul wrote to the Ephesians (4:29-32), “Never let evil talk pass your lips; say only the good things men need to hear, things that really help them. Do nothing that will sadden the Holy Spirit with whom you were sealed against the day of redemption. Get rid of all bitterness, all passion and anger, harsh words, slander and malice of any kind. In place of these, be kind to one another, compassionate and mutually forgiving, just as God has forgiven you in Christ.”
Two thousand years later, this is still good advice. We all need to try harder to love our neighbor.
DEACON R. MICHAEL MCKENNA, ST ELIZABETH ANN SETON CATHOLIC CHURCH
Palm Coast
Send letters up to 400 words to jarleene@observerlocalnews.com.

an overflow venue for worship services, streaming live from the church’s main campus across the street.
“Our vision is to become the community’s preferred gathering place,” O’Brien previously said. “No matter who you are or what you believe, we want it to be a cool spot to hang out. Our mission isn’t to run a business — it’s to create an environment that starts with coffee and can lead people toward Jesus.”
The name “Boardroom” reflects both collaboration and the surf culture that has shaped Salty Church’s identity. Inside, surfboard-inspired décor and coastal design elements pay homage to the beachside community the church calls home.
For Chrissy O’Brien, the heart behind The Boardroom is simple. “My vision of what I want The Boardroom to be is just a
place for people to have community, to connect, a place that feels good,” she said. “I love Ormond Beach and its community and hope to build the community here too.” As espresso machines hummed and waffles rolled off the griddle during Friday’s launch, church leaders said the goal is for The Boardroom to serve as a welcoming front porch for the broader community — whether guests come for coffee, conversation or something deeper.
— ALEXIS MILLER


Held at the Palm Coast Community Center, the event featured a DJ, food and games.
Children showed off some sweet moves during the City of Palm Coast’s annual Valentine’s Sweetheart Dance on Friday, Feb. 13. Held at the Palm Coast Community Center, the event featured a DJ, food and games. The family-friendly event was open to all ages.
the flag
Kindergarten students at Imagine School at Town Center participated in a service learning project called Valentines for Veterans on Wednesday, Feb. 11.
The school’s kindergarten team partnered with Jeff Kingdon, a Marine Corps veteran and chairman of the Flagler County Veterans Advisory Council. Kingdon gave a presentation to the students on the American flag and the six branches of the U.S. military. He showed the students the official flags of those branches and brought pictures to show the uniforms of the different branches.
Students learned how to be respectful to veterans and how to respect the American flag. Students also went on a rotation where they heard
stories from six veterans who are family members or neighbors of Imagine School students. They talked about the branches that they served in and brought memorabilia such as helmets, medals, and artwork.
Kingdon, who creates wooden plaques for fellow veterans and service providers, presented a plaque to each of the veterans who participated and to each of the teachers that read “Thank You for Your Service” and “Thank You for Honoring Veterans.”
After the presentations, students worked on Valentine cards to be sent to The Emory L. Bennett State Veterans Nursing Home in Daytona Beach.
The Philippine American Association of Palm Coast (PAAPC) held its 2026-27 officer induction ceremony on Feb. 9 at The IMBing Lounge. The ceremony included the





swearing-in of newly elected officers, led by President Judy Fermin-Ostrin and Vice President Aileen Mariano, along with new board members. Father Jose Panthaplamthottiyil, of St. Elizabeth Ann Seton Catholic Church, opened the meeting with a prayer. Palm Coast Mayor Mike Norris administered the oath of office. Flagler County Sheriff Rick Staly also attended the event.
PAAPC is a nonprofit that has served the Filipino-American community in Palm Coast since 1992, with a mission of cultural preservation, civic engagement and community building.
The induction ceremony reflected both continuity and forward momentum. Hosting the event at The IMBing Lounge, Palm Coast’s newest Filipino lounge and coffee bar, highlighted the growing

presence of Filipino-owned businesses and the cultural contributions of the FilipinoAmerican community in the area.
“This new term represents an exciting chapter for PAAPC,” Fermin-Ostrin. “By honoring and maintaining Filipino culture while actively contributing to the city’s growth, we are deeply committed to engaging with Palm Coast and the broader community. We have a number of exciting events planned this year and many opportunities for people of all backgrounds to get involved, connect and celebrate together.”
For a complete list of the new officers, go towww.paapc. org/boardmembers
Flagler Cares
Help-A-Thon to be broadcast March 6 on Flagler Radio
“At the heart of our work is the belief that neighbors truly can help neighbors,” Carrie Baird, chief executive officer of Flagler Cares, said. “A small amount of help at the right time can prevent a setback from becoming a crisis.”
The Help-A-Thon will highlight both monetary donations and donated professional services from the local business community, like plumbing or auto repairs, or gift cards to cover basic needs like gas or childcare items. Financial gifts provide one-time assistance for essential needs, while donated services offer practical solutions that help families move forward. All donors will be recognized during the live broadcast. The Help-A-Thon will air on WNZF, KOOL, KIX, and Beach radio stations. Visit www.flaglercares.org.
Flagler Cares is hosting its first Neighbors Helping Neighbors Help-A-Thon, a live radio fundraising and awareness event, 9 a.m. to noon Friday, March 6, across four Flagler Broadcasting stations. Every day, families in Flagler County turn to Flagler Cares for help navigating urgent challenges including housing, utilities, health care, behavioral health, employment and transportation. Through the Flagler County Village, Flagler Cares connects individuals and families to services that promote stability and responsibility.
FRIDAY, FEB. 20
SIMON AND GARFUNKLE THROUGH THE YEARS
When: 7 p.m.
Where: Ormond Beach Performing Arts Center, 399 N. U.S. 1, Ormond Beach
Details: See this tribute show fronted by Dan Haynes and Pete Richards featuring iconic songs like “The Sound of Silence,” “Mrs. Robinson,” “The Boxer” and “Bridge Over Troubled Water.” Tickets cost $40-$65. Visit ormondbeach performingartscenter.csstix. com.
FLAGLER FLICKS:
‘LINCOLN’
When: 7-9 p.m.
Where: Veterans Park, 105 S. 2nd St., Flagler Beach
Details: See the 2012 “Lincoln,” rated PG-13. Bring a chair or blanket. Free event. CITY REPERTORY THEATRE PRESENTS ‘THE COLORED MUSEUM’
When: 7:30 p.m. on Fridays and Saturdays, Feb. 21, 22, 27 and 28; and 3 p.m. on Sundays, Feb. 23 and March 1
Where: City Repertory Theatre, 160 Cypress Point Parkway, Unit B-207, Palm Coast
Details: See a satire from Tony Award-winning African American playwright George C. Wolfe that redefines ideas of what it means to be Black in contemporary America. Presented as a series of interconnected skits. Tickets: $30 for adults; $15 for students. Visit hcrtpalmcoast.com.
SATURDAY, FEB. 21
STRAWBERRY FEST
When: 10 a.m. to 5 p.m.
Saturday and Sunday, Feb. 21 and 22
Where: Florida Agricultural Museum, 7900 Old Kings Road N., Palm Coast Details: Enjoy family festivities, fresh strawberries,
arts and crafts, live entertainment and more. Take part in the annual pie eating contest and the Berry Cute Baby contest. Admission is $7. Ages 2 and under are free. Cash only at the entrance. Visit palmcoastfest.com.
GOD’S FAMILY BIBLE CHURCH PANTRY FOOD DISTRIBUTION
When: 10-11 a.m.
Where: Parking lot across Gods Family Bible Church, 256 Old Brick Road, Bunnell-
Details: God’s Family Bible Church distributes food every first and third Saturday in this drive-thru event.
ARTWAVE YOUTH WORKSHOP
When: 2-3:30 p.m.
Where: Ormond Memorial Art Museum and Gardens, 78 E. Granada Blvd.
Details: Ages 11-14 are invited to join youth curator Emma Dennison. Participants will “follow along with Bob Ross” to create an acrylic painting. All supplies are included. Seats are limited. Costs $15 for museum members; $20 for non-members. Visit ormondartmuseum.org.
DAYTONA JAZZ ORCHESTRA
When: 2 p.m.
Where: Daytona Beach Regional Library, 105 Jackie Robinson Parkway, Daytona Beach
Details: See a performance by the Daytona Jazz Orchestra, an 18-piece big band with a singer. The performance includes songs from the Big Band Era to contemporary music. Free event.
DSC THEATRE PRESENTS ‘GOD OF CARNAGE’
When: 7 p.m. on Saturday, Feb. 21, and 2 p.m. on Sunday, Feb. 22
Where: News-Journal Center, 221 N. Beach St., Daytona Beach
Details: See this play by Yasmina Yeza about two sets of
parents. One couple’s son has hurt the other’s. The play’s student director is Logan Laguer. Costs $10 for adults, $5 for Volusia and Flagler students. Free for DSC students, staff and faculty. Visit https:// www.daytonastate.edu/inthe-community/the-arts/ index.html.
VICTOR WAINWRIGHT & THE TRAIN
When: 7:30 p.m.
Where: Ormond Beach Performing Arts Center, 399 N. U.S. 1, Ormond Beach
Details: Grammy-nominated blues artist Victor Wainwright will perform at the PAC. A seven-times Blues Music Award winner, Wainwright and his band will rattle the rafters and conjure up tender ballads all in one show. Tickets cost $50. Visit ormondbeachper formingartscenter.csstix.com.
SUNDAY, FEB. 22
DREAM GREEN VOLUSIA
FIFTH ANNUAL HIKE
When: 2 p.m.
Where: Bulow Woods at Bulow Creek State Park, 79412 Walter Boardman Lane, Ormond Beach
Details: Participate in this 2.25-mile hike with Tomoka Basin Parks Ranger Mark Adams, hosted by Dream Green Volusia. Comfortable shoes and a reusable water bottle are recommended. Meet at Bulow Woods Trail on Walter Boardman Lane. This is part of ReGrow the Loop. Email dreamgreenvolusia@gmail. com or call 386-212-7721 for more information.
PALM COAST BIBLE
CHURCH SHOW & SHINE
CAR SHOW
When: 2-5 p.m.
Where: Palm Coast Bible Church, 94 Whiteview Parkway, Palm Coast Details: This free car show will have food, live music and children’s activities. Donations appreciated to help send children to camp. Visit PCBibleChurch.org.
MONDAY, FEB. 23
COMMUNITY
PREPAREDNESS
WORKSHOP
When: 9-10 a.m.
Where: Flagler County Emergency Operations Center, Building 3, 1769 E. Moody Blvd., Bunnell
Details: Learn general preparedness information, practical tips and strategies to keep households safe and ready for emergencies. For more information and to register, visit www.FlaglerCounty. gov/emergency and click on “Community Training,” or call 386-313-4200.
LA HORA DEL CUENTO
When: 11 a.m.
Where: Ormond Beach Public Library, 30 S. Beach St., Ormond Beach
Details: Children and their caregivers are introduced to basic building blocks of literacy, in English and Spanish, through stories, rhymes and music. Free program.
TUESDAY, FEB. 24
A CELTIC JOURNEY WITH HARP & SONG
When: 2 p.m.
Where Ormond Beach Public Library, 30 S. Beach St., Ormond Beach
Details: Shari Sarazin will take her listeners on “A Celtic Journey with Harp & Song,” featuring Celtic melodies, contemporary love ballads and originals. Free event.
WEDNESDAY, FEB. 25
VETERANS CREATIVE EXPRESSIONS WORKSHOP
When: 11 a.m. to 12:30 p.m.
Where Ormond Memorial Art Museum and Gardens, 78 E. Granada Blvd., Ormond
Beach
Details: Artist Barbara Saunders will guide participants in creating a 3D mixed media piece with a winter theme, using Birch tree bark, textiles and white stone on board. All materials are provided. No art experience is necessary. Registration required. Open
to U.S. veterans and current service members, but a family member or friend age 16 or older may also register. Register at www.ormondartmuseum.org/classes-programs.
NORTH ATLANTIC RIGHT WHALES: HOW YOU CAN HELP
When: 1-2 p.m.
Where Gamble Rogers Memorial State Recreational Area, 3100 S. Oceanshore Blvd., Flagler Beach
Details: Join Terran McGinnis, project coordinator with the Marineland Right Whale Project, for an engaging 45-minute presentation about right whales. Meet at the beachside pavilion. Park entry fee applies.
PALM COAST ASTRONOMY CLUB
When: 5:30-6:30 p.m.
Where Palm Coast Public Library, 2500 Palm Coast Parkway NW, Palm Coast
Details: Join the Palm Coast Astronomy Club for its monthly meeting. The topic will be “Gaia Reveals the Milky Way.” Everyone interested in astronomy is welcome. Meeting room is located to the right after entering the library.
NIGHT WITH A SCIENTIST:
DR. JOHN ROBBINS
When: 5:30 p.m.
Where Ormond Beach Public Library, 30 S. Beach St., Ormond Beach
Details: Dr. John Robbins, chair and professor of the Aeronautical Science Department at Embry-Riddle University, will share information about their work in the field of uncrewed aircraft systems. Free event.
PUBLIC LANDS FILM FESTIVAL
When: 7-9 p.m.
Where Ocean Center, 101 N. Atlantic Ave., Daytona Beach
Details: This free screening features five short films that explore inspiring and change-making stories across

the landscapes we all share. All ages welcome. Celebrate the importance of public lands. Register at http://bit. ly/4qzQgfc.
SPYRO GYRA
When: 7:30 p.m.
Where Ormond Beach Performing Arts Center, 399 N. U.S. 1, Ormond Beach Details: Spyro Gyra is returning to Ormond Beach with its contemporary jazz sound. Tickets cost $50-$65. Visit https://ormondbeachperformingartscenter.csstix.com.
THURSDAY, FEB. 26
LITTLE NOTES & NARRATIVES WITH ELC When: 10:30 a.m. to noon
Where Ormond Memorial Art Museum and Gardens Details: Children ages 3 to 5 will learn musical literacy through guided lessons and activities with instruments, followed by a story time experience. A parent or caregiver must be present with their child during the workshop. . Free program. Registration is required. Visit www.ormond artmuseum.org.
DIVING BOARD SESSION
When: 6-8 p.m.
Where Ocean Center, 101 N. Atlantic Ave., Daytona Beach Details: This is a communityfocused event designed to spotlight local artists, nonprofits and creative culture in an intimate waterfront setting. While general admission is free, VIP tables are available at $100. Visit oceancenter.com.
‘START SPREADING THE NEWS’ WITH LIZA AND FRANK When: 7 p.m.
Where Ormond Beach Performing Arts Center Details: Tony Sands and Whitney Grace will deliver a tribute to Frank Sinatra and Liza Minnelli. Tickets $35. Visit https://ormondbeachperformingartscenter.csstix. com.


www.floridaskincancer.com DOES NOT MEAN SURGERY.
95% of skin cancers are non-melanoma squamous cell and basal cell skin cancers. Surgery is not required to treat them, non-invasive treatments can provide excellent cure rates in line with surgery. We specialize in non-invasive treatments and screening using state of the art technology. No cutting, bleeding, wound healing issues, scarring, skin grafts, numbness, or cosmetic failures.
Contact Us Today
386-229-5910
Email: info@floridaskincancer.com
6029 Old Kings Road Palm Coast, FL 32137




Flagler Ed Foundation hosts annual fundraiser



Miss America 2026
Cassie Donegan shared her life story, took photos and spoke with students.
SYDNEY TEVIN GUEST WRITER
Miss America 2026 Cassie Donegan visited Seabreeze High School on Friday, Feb. 13, to meet with the Seabreeze American Musical Theater, vocal ensemble, band and theater classes.
Donegan shared her life story, explaining her journey to becoming Miss America, before holding a questionand-answer session to give students the chance to learn more about her experiences. Afterward, she performed “That’s Life” by Frank Sinatra, the song she sang at the Miss America auditions.
Donegan also took photos with the students and signed autographs. She posed with the vocal ensemble, who had done a Valentine’s Day fundraiser, where students bought

telegrams from the ensemble for friends.
“It’s so wonderful for me to get to come and speak with students and really get more into them,” Donegan said.
Vocal Ensemble President Lily Barker has led the group for two years.
“It’s all really exciting to get all these opportunities,” Bark-


Ahouse at 3 Cordoba Court, in Hammock Dunes, was the transaction for Jan. 24-30 in Flagler County. The house sold on Jan. 30 for $1.4 million. Built in 1990, the 3/3.5 home has a pool, a hot tub, a fireplace and 3,048 square feet. It sold in 2022 for $1,095,000. The listing agent was Lisa Marie Gardner, with Coastal Gateway Real Estate Group.
ALEXIS MILLER
CONTRIBUTING WRITER
Belle Terre
A house at 18 Pretoria Lane sold on Jan. 30, for $313,000. Built in 2005, the house is a 3/2 and has 1,861 square feet. It sold in 2015 for $140,000.
A house at 1 Rylin Lane sold on Jan. 27, for $339,000. Built in 2007, the house is a 4/2 and has 2,168 square feet. It sold in 2010 for $145,000.
Hammock Dunes
A house at 9 Rue Renoir sold on Jan. 30, for $1,225,000. Built in 1993, the house is a 4/4.5 and has a pool, a hot tub, a fireplace and 3,501 square feet. It sold in 2008 for $750,000.
Indian Trails
A house at 5 Butterfly Place sold on Jan. 30, for $332,800. Built in 2025, the house is a 3/2 and has 1,505 square feet.
Built in 1989, the house is a 3/2 and has a pool, a hot tub, a fireplace and 2,477 square feet. It sold in 2019 for $265,000.
A house at 42 Westglen Lane sold on Jan. 30, for $435,000. Built in 2021, the house is a 3/2 and has 2,208 square feet. It sold in 2021 for $281,400.
Seminole Woods A house at 17 Slogan Place sold on Jan. 30, for $489,900. Built in 2026, the house is a 4/3 and has 2,393 square feet.
Ahouse is a 4/3 and has 2,190 square feet.
The Trails The townhome at 3 Ridge Trail sold on Jan. 30, for $335,000. Built in 1981, the townhome is a 3/2 and has a fireplace and 1,678 square feet. It last sold in 2016 for $135,000.
Tomoka Oaks The house at 19 Oakmont Circle sold on Jan. 26, for $550,000. Built in 1972, the house is a 5/3 and has a fireplace and 2,922 square feet. It last sold in 2022 for $475,000.
Ocean Hammock A house at 7 Spanish Oaks Court sold on Jan. 30, for $1,225,000. Built in 2011, the house is a 5/4 and has a pool, a hot tub and 4,079 square feet.
Palm Harbor A house at 83 Club House Drive sold on Jan. 29, for $325,000. Built in 1983, the house is a 2/2 and has 1,617 square feet. It sold in 2021 for $242,500.
A house at 25 Fillmore Lane sold on Jan. 28, for $269,900. Built in 1978, the house is a 3/2 and has 1,769 square feet. It sold in 2025 for $295,000.
A house at 5 Cayuga Court sold on Jan. 29, for $625,000. Built in 2004, the house is a 4/2.5 and has a pool, a hot tub and 2,338 square feet. It sold in 2017 for $350,000.
Pine Lakes A house at 15 Wendover Lane sold on Jan. 30, for $479,900.
A house at 56 Brownstone Lane sold on Jan. 30, for $340,000. Built in 2003, the house is a 3/2 and has 1,814 square feet. It sold in 2017 for $159,500.
A house at 225 Montgomery Court sold on Jan. 27, for $305,930. Built in 2025, the house is a 3/2 and has 1,388 square feet.
A house at 243 Montgomery Court sold on Jan. 30, for $342,669. Built in 2025, the house is a 4/3 and has 2,015 square feet.
A house at 115 Universal Trail sold on Jan. 27, for $465,000. Built in 2006, the house is a 4/3 and has a pool and 2,424 square feet. It sold in 2023 for $465,000.
A house at 16 Service Tree Place sold on Jan. 30, for $310,000. Built in 2025, the house is a 4/2 and has 1,760 square feet.
A house at 18 Squadron Place sold on Jan. 30, for $351,200. Built in 2025, the house is a 4/2 and has 1,820 square feet.
Toby Tobin, of gotoby.com, contributed to this report.
condo in Capriana at 1425 Ocean Shore Blvd., Unit 603, was the top real estate transaction in Ormond Beach and Ormondby-the-Sea for the week of Jan. 24-30. The condo sold on Jan. 27, for $850,000. Built in 2006, the beachfront condo is a 3/3 and has 2,515 square feet. It last sold in 2022 for $910,000. The condo was listed by TJ Jarosik, of Watson Realty Corp.
JARLEENE ALMENAS MANAGING EDITOR
Condos
The condo at 3110 Ocean Shore Blvd., Unit 114, sold on Jan. 28, for $240,000. Built in 1991, the condo is a 2/2 and has 1,000 square feet. It last sold in 2021 for $230,000.
The condo at 901 S. Atlantic Ave., Unit PH5, sold on Jan. 30, for $660,000. Built in 1980, the condo is a 3/4.5 and has 2,790 square feet. It last sold in 2023 for $600,000.
ORMOND BEACH
Halifax Plantation
The house at 3262 Bailey Ann Drive sold on Jan. 29, for $320,000. Built in 2020, the house is a 2/2 and has 1,687 square feet. It last sold in 2020 for $268,700.
Hunter’s Ridge
The house at 30 Foxfield Look sold on Jan. 26, for $390,000. Built in 2012, the house is a 3/2 and has 2,077 square feet. It last sold in 2025 for $405,000.
Northbrook
The house at 1114 Sherbourne Way sold on Jan. 30, for $360,000. Built in 1983, the house is a 3/2 and has a fireplace, an outdoor kitchen and 1,504 square feet. It last sold in 2024 for $434,900.
Oak Forest

University Circle
Ormond Golfridge
The house at 430 S. Center St. sold on Jan. 29, for $232,800. Built in 1975, the house is a 3/2 and has 1,764 square feet. It last sold in 1986 for $57,000.
Plantation Bay
The house at 1510 N. Beach St. sold on Jan. 28, for $295,000. Built in 1987, the house is a 3/3 and has two fireplaces and 2,477 square feet. It last sold in 1987 for $158,500.
The house at 1240 Hampstead Lane sold on Jan. 30, for $569,900. Built in 2003, the house is a 4/2 and has a fireplace, a pool and 2,436 square feet. It last sold in 2021 for $340,000.
Ridgehaven
The house at 1348 Oakhaven Ave. sold on Jan. 27, for $409,990. Built in 2025, the
The house at 272 Margaritaville Ave. sold on Jan. 29, for $600,000. Built in 2021, the house is a 2/2.5 and has 2,067 square feet. It last sold in 2021 for $412,100. The house was listed by Shannon Brooks, of Realty Pros Assured.
Grande Champion
The townhome at 117 Langston Drive sold on Jan. 30, for $245,000. Built in 2016, the townhome is a 3/2.5 and has 1,288 square feet. It last sold in 2022 for $215,000.
Lennar at Preserve at LPGA The house at 1243 Belle Isle
The house at 142 University Circle sold on Jan. 30, for $449,000. Built in 1963, the house is a 4/3 and has a fireplace, a pool, a spa and 2,088 square feet. It last sold in 1971 for $36,500.
ORMOND-BY-THE-SEA
Ormond Shores
The house at 46 Camellia Drive sold on Jan. 30, for $317,000. Built in 1959, the house is a 2/2 and has 1,067 square feet. It last sold in 2025 for $225,000.
Starboard Light The house at 3013 Anchor Drive sold on Jan. 28, for $417,000. Built in 1986, the house is a 3/2 and has a pool and 1,796 square feet. It last sold in 2013 for $189,900.
Lane sold on Jan. 26, for $342,990. Built in 2025, the house is a 4/2.5 and has 1,880 square feet. LPGA The house at 149 Gala Circle sold on Jan. 27, for $285,000. Built in 2003, the house is a 3/2












Mainland head coach
Joe Giddens said a 22-4 season was an unexpected success.
MICHELE MEYERS
CONTRIBUTING WRITER
Frenzied fouls resulting in a plethora of free throws and a Hail Mary pass picked off in the final seconds solidified Ocala Forest’s 57-55 upset of Mainland in the Region 1-6A boys basketball quarterfinals on Saturday, Feb. 14, at the Vince Carter Athletic Center.
The game went down to the wire. The Buccaneers missed a free throw with 4.4 seconds left that would have tied the score at 56-56. After fouling Forest, the Bucs’ length-ofthe-court pass with 1.6 seconds left was intercepted by the Wildcats.
The loss was a disappointing end to the season for the
Bucs (22-4), who entered the playoffs as the No. 1 seed in the region and the secondranked team in Class 6A. Forest, seeded eighth, improved to 18-8 and will face Gainesville Buchholz on Feb. 21 in the regional semifinals. Forest came out strong against the Bucs’ aggressive defense, hitting three 3-pointers in the first quarter. Trey Chisolm led the Wildcats with 17 points and was instrumental in sealing the win after making three free throws in the final seconds. Treyton Cave and Chandler Davison each finished with four 3-pointers for the Wildcats. Mainland head basketball coach Joe Giddens said being on top meant his team had to be “near perfect” every night.
“They were able to come together and do something special. They were able to put egos aside. I hope they understand that they developed and became good young men, not just basketball players, that they’re going to be good fathers and good leaders in our community.”

“When you’re up top, it’s hard because everybody’s going to be chipping away at you,” he said. “But going into the season, I didn’t expect us to be where we were at, I didn’t expect us to have 22 wins and four losses. I didn’t expect that, but I’ll take it.”


Juniors Kade Manley and Reece Casto led the Buccaneers with 17 and 15 points, respectively. Sophomore guard Kadin Flores started for Canyon Powers, who had an Achilles injury. Powers averaged 11.6 points, 5.6 rebounds and 2.0 steals this season.
Giddens said he tried to play Powers because of his status as a senior, but he was having difficulty moving.
“All season, he’s been a part of the offense we’ve been working on,” Giddens said. “Not having him hurt us big time, and we had to make adjustments.”
Giddens said that of the 14 players on the team, only Manley had ever played in the postseason. A lack of that experience can make it tough for a player, he said. Last year, Forest won 67-57 in the 1-6A Region quarterfinals against Crestview and lost 42-31 against Lake Howell in the semifinals.
“It’s tough to lose when you have so many opportunities to win it, but it happened the way it happened,” Giddens said. “It’s tough because I just wanted those seniors to have the opportunity and experience (of the state championship tournament).”
Mainland was comprised of football players Flores, Jaden Parks, Chevin Davis Jr. and Keith Simmons, and a bevy of transfers, including Beegie Gordon from DeLand, Powers and Ja Curry from Pine Ridge, Davon Jones from Spruce Creek and Casto, from Seabreeze who joined the Bucs one month before the season.
Giddens said it was key to get the players to gel as a team. He implemented a variety of team bonding activities, including conditioning and running, to get his players to rely on and push one another. He said it is an adjustment for players transferring in to take on a different role in a new environment.
“That’s the beauty of coaching (bringing players together),” he said. “I make it appealing because they are going to get the best opportunities to play here, at Mainland. I make sure I take advantage of that, so guys come in and can sacrifice their ego for the depth of the team.”
The brotherhood and camaraderie the players demonstrated throughout the season were special and ultimately resulted in success, Giddens said.
“I think what surprised me the most about them is how quickly they became family with each other — being there for each other, trusting

each other and being able to push each other without conflict,” Giddens said. “Once the season started, we came out against Bayside [winning 90-39], and we were rolling. Everybody continued to buy in. As the season went on, they got better and better.”
Seniors Gordon, Powers, Jones and Curry made significant impacts to Mainland’s accomplishments this year. They will be leaving Manley and Casto to guide a young group of players next season.
Manley finished the season with team highs of 15.8 points per game and 3.6 assists.
Giddens said he hopes his players learned what perseverance, sacrifice and hard work are about.
“They were able to come
FPC, Seabreeze basketball teams break out of playoff droughts
After years of rebuilding, Seabreeze and Flagler Palm Coast’s boys basketball teams and FPC’s girls basketball team are all on an upward path. Each of those teams reached the regional quarterfinals this season after long playoff droughts. All three saw resurgent seasons end in the regional quarterfinals.
Seabreeze had not made the playoffs since 2015. This year, Ray Gaines’ squad compiled a 21-8 record. The fifth-seeded Sandcrabs lost 58-53 in a Region 2-5A road game to No. 4 Auburn on Feb. 14.
Seabreeze had not finished with a winning record since 2016. The Sandcrabs’ top four scorers all return next season, led by Jeremiah Outler (16.8 points per game) and AJ Brown (13.6 points). Greg Shirley’s FPC boys team finished with a 17-11 record and reached the playoffs for the first time since 2019. The sixth-seeded Bulldogs lost to No. 3 Atlantic Coast 56-43 on Feb. 14. It was the third time this season that FPC lost to the Stingrays. Atlantic Coast edged FPC 40-36 a week earlier in the District 1-7A championship game. The Bulldogs were a senior-dominated team, led by leading scorers Nate Perry (15.7 points), Anthony Hampton (14.0 points), Siah Sanders (8.7 points) and Nateshawn Royal (8.1 points). But they return five juniors including starter Tony Coates. The seventh-seeded FPC girls fell to No. 2 Orlando Colonial 59-47 in the Region 1-7A quarterfinals. The Bulldogs finished the season at 18-6, their best record in George Butts’ three seasons as the team’s head coach. The last time the FPC girls team had made the playoffs was 2020 under coach Javier Bevacqua. The Bulldogs return four starters next season, including leading scorer Ava Works.
together and do something special,” he said. “They were able to put egos aside. I hope they understand that they developed and became good young men, not just basketball players, that they’re going to be good fathers and good leaders in our community.” Colleges have contacted Giddens and his coaching staff about many of their players. He said the main goal is to fight hard and open up opportunities for his seniors to attend college and play ball at the next level.
“I hope my seniors understand that they’re loved and they are a key part of what we do,” he said. “I hope they leave here better young men, better people, with a better outlook on life and opportunities to take advantage of. And when the door knocks, be ready to go.”









BRENT WORONOFF ASSOCIATE EDITOR
As Flagler Palm Coast weightlifting coach Duane Hagstrom was capturing junior Nya Williams’ potential state record lift on video, he yelled encouraging words to his 119-pound lifter.
Hagstrom shouted, “Come on Nya. Hit it. Hit it! Stick it!”
Williams had just about clinched her first of two state championships on Wednesday, Feb. 11. Now, with her last clean-andjerk lift, she was attempting a state record 210 pounds. She had come close to hitting 210 twice in earlier meets. This time, she cleaned it — lifting it to her shoulders — and then raised the weight over her head, locking it in for a new state record.
“The first time she tried 210, I told her it will be there when it matters,” Hagstrom said. “And it was.”
The crowd at the RP Funding Center in Lakeland cheered wildly. Hagstrom yelled, “Yeahhh! Yeahhh!” and jumped up and down. Williams jumped into his arms. In the moment, Hagstrom forgot to press the stop button and his phone continued to record video as it fluttered.
Williams won the Class 3A 119-pound state championships in the two competitions: Olympic (combining snatch and clean and jerk lifts) and traditional (clean and jerk and bench press). She totaled 365 pounds in each competition, winning Olympic by 55 pounds and traditional by 35 pounds.
With the use of two formulas based on lifts by body weight, Williams was named Lifter of the Meet in both competitions.
“Pound for pound,” she’s definitely the strongest I’ve ever coached,” Hagstrom said.
Williams has been accepted into USA Weightlifting’s National Team Program. She won three gold medals in the youth division at the USAW National Championships last June. This year, she’s moving up to the junior division.
A day after returning home from Lakeland, Williams was back in school and still wore her medals around her neck. She spoke to the Observer about winning and the support she received in the arena and on social media.
How does it feel now that you’ve had time to savor the moment?
It feels pretty insane. I kind of went into the meet knowing I was going to win with my numbers, but it didn’t really hit me until after I hit my last clean and jerk. which was my 210. It was such a great feeling.
Coach Hagstrom was videoing, and when you did it, the phone went flying. Yeah. I ran up to him. He was jumping up and down. I jumped in his arms, gave him
a huge hug. It was so great. All my teammates, my girls, were standing around me. Girls from other schools, parents, people I don’t know. Almost the whole entire room was standing behind me, supporting me. It was insane.
Weightlifters seem to support each other even as they’re competing. The tight-knit weightlifting community is so neat. I think I experienced slightly more because of my social media [@Nya_lifts on
Instagram, where she has 18,000 followers]. It brings people from across the state together, brings people from different states together, and it makes you realize, y’all deal with the same struggles, y’all are part of the same sport, y’all do the same thing every day, work your butts off, and y’all are here for the same reason. And that’s to win, show people what you’re capable of and overall, have fun.
Have a lot of people outside of school and the community sent you congratulations?
Probably everybody. Throughout social media, in person, family, friends, people I don’t know. It’s felt so good to know that I have such a community around me.
That state-record lift clinched your first state title. How did it feel in the moment? I jumped into Coach’s arms automatically. Happy tears poured from my eyes. I ran up to my Aunt Stephanie, and I gave her the biggest hug, and I ran through the stands. I had people saying, congratulations, people giving me hugs — people I didn’t even know. And then, people asked to take pictures with me, left and right. I took a whole bunch of photos with girls. We posted them on Instagram. And then I was like, I’m not done yet, I’ve got another title to win. I need another medal. Then going into bench (press), Coach said our main thing is not to get a new personal record, it’s to win another title. I ended up making all three of my bench presses. My highest

was 155, just an easy weight for me. But if a girl wanted to beat me, they would have had to bench 210, which was not happening. It’s kind of funny, this was my third year at states. I placed fifth in Olympic style my freshman year. My sophomore year, I placed second in Olympic and fourth in traditional. This year, double firsts, big golds. Last year, it was just me and one other teammate. This year, we had five of us. So, I’m really glad that they had that experience, even though two of our girls were sick. But they really pushed through to do their best.
Did you get emotional on the podium?
Feeling them put that gold medal around my neck, it just felt so right, so amazing, such a perfect feeling. It was like, this is what I’ve been working for. And then the second one came along. I just felt everybody screaming my name and hollering. It made me feel really good on the inside.
What’s the next competition?
I’ll compete again in Nationals in June. This year, I will be a Junior instead of a Youth, so I will now be competing against 18 to 20 year-olds even though I am 17. I turn 18 in November. In October, I compete in the Pan American (championships) in Mexico. I’m hyped for that. [She’ll need to reach a qualifying total, but she’s close]. In December, I have the Team USA training camp. I’m super excited for that, to train with everybody and be a part of the team. There are a lot of opportunities right there within my touch. I’m thankful to have my coaches, Duane Hagstrom and Kenny Rosa and Amanda and Bart Houselander, and to my aunt. I’m really thankful that I have these people to help me through these opportunities.
Have you taken your medals off yet?
I take them off to go to sleep, that’s about it. Whenever I get done with a meet, especially a big meet, I can’t hang them up right away. I’m just not ready to put that event
Flagler Palm Coast placed eighth in both competitions at the Class 3A girls state weightlifting championships Feb. 11 in Lakeland. Besides double-champion Nya Williams, the Bulldogs had four other qualifiers.
Lily Ames (14th Olympic, 11th traditional at 139 pounds) and Brianna Long (19th traditional at 169), both competed despite being sick.
“Lily still had a 300-pound (traditional) total,” FPC coach Duane Hagstrom said. “She toughed it out. Same thing with Bri. They both stepped up despite how they were feeeling and did the best they could.” Alexcia Lilavois was 18th in Olympic at 101 and Aaradhan Moluguri was 11th in Olympic at 119. Moluguri set a PR with a 110-pound snatch lift. Matanzas’ Jordyn Crews just missed a medal with a seventhplace finish in Olympic at 139 pounds. Crews had a 290-pound total. At the Class 2A championships, Seabreeze’s Camila Arellano placed 14th in traditional at 129 pounds.
behind. I’ll take them off after school probably, when I get home after work tonight. It’ll probably be time to hang them up.


The Bulldogs defeated the Sandcrabs 6-2 in the season-opener.
BRENT WORONOFF
ASSOCIATE EDITOR
Flagler Palm Coast has won its first three baseball games of the season, scoring at least six runs in each contest. The Bulldogs defeated Seabreeze 6-2 in their season opener at home on Feb. 11. Two days later, FPC scored four runs in the bottom of the sixth to defeat Jacksonville Episcopal 6-5. On Feb. 17, FPC won 8-5 at DeLand.
Marion Clayton and Paul Bowen each drove in two runs against Episcopal. Pitchers Nick Pandich and Noel Hemmerle did not allow an earned run. Reggie Bass got the win against Seabreeze allowing two earned runs in four innings while striking out seven. Kameron Roberts threw three shutout innings. Hemmerle and Carson Flis drove in two runs apiece. Flis and Bowen each drove in thee

runs against DeLand. Seabreeze fell to 0-3 with a 13-11 loss at DeLand on Feb. 13. DeLand also scored 13 runs in a 13-5 win at Seabreeze on Feb. 10. The Sandcrabs gave up nine runs in the bottom of the sixth at DeLand.
Seabreeze’s Wrigley Zweifel and Cole Sager each had two hits in the 13-11 loss. Zweifel scored three runs, while Sager drove in three. Mason Sisk also scored three runs.


Cerasi breaks
mark; Marcelus wins at premier track meet
Matanzas sophomore
Peyton Cerasi broke her own school record in winning the 1,600-meter run with a time of 5 minutes, 4 seconds on Feb. 14 at the Valentine’s Day Opener track and field meet at Tocoi Creek High School. The Pirates won three other events at the season-opening meet. Matt Ciardi, Dylan Ciardi, Brant Tarsitano and Blaine Vogel teamed to win the boys 4x800-meter relay with a time of 8:39.18. Jayden McCoy won the boys triple jump with a leap of 42 feet, 11.75 inches. Jordan TheusVale won boys discus with a throw of 123 feet, 7 inches.
Flagler Palm Coast traveled to Miami to compete in the Louie Bing Invitational, one of the premier season-opening track meets in the state.
Karina Marcelus won the girls triple jump with a 38-feet, 8.25-inch jump. Marcelus was also fourth in 100 hurdles in 15.16 seconds.
La’Darius Simmons was second in boys javelin with a throw of 175 feet, 7 inches. Jordan Haymon was third in the boys 200 meters with a time of 21.93 seconds. The FPC girls placed eighth at the meet. The boys were 12th. Seabreeze also competed
at the Tocoi Creek meet with the boys placing third. Aidan O’Brien won the 200 meters in 22.81 seconds and placed second in the 100 in 11.38 seconds. Drayton Brackett won the 400 hurdles in 1:00.06 and placed third in the 110 hurdles. Jeremias George was second in the long jump with a leap of 20 feet, 6.5 inches. Tabitha Hick was second in the girls 400 hurdles in 1:12.36.
At the Lake Mary Opening Classic, Mainland’s Michael London won shot put with a throw of 41 feet, 7.75 inches. Ethan Figueroa was second in long jump (20 feet, 7.25 inches). Father Lopez’s Lauren Lancing won the girls 100 meters with a personalrecord time of 12.74 seconds.
All four FPC wrestlers win district titles
All four of Flagler Palm Coast girls wrestlers won district championships on Feb. 12 at University High School. Matanzas had five runnersup, and Mainland had a fourth-place finisher. They all advance to the Region 1 tournament on Feb. 21 at Lynn Haven Mosley.
FPC’s Joslyn Johnson (105 pounds), Juliana Mills (110), Alisha Vilar (145) and Alexa Calidonio (170) all won District 4 championships. They were all on the Bulldogs’ girls state championship team last season.
Johnson and Calidonio both placed at state last year. Johnson, who won a 2024 individual state title, won a third-place medal last season. Calidonio placed fifth at state.


Matanzas’ five district runners-up include Jayme Mcdannell-Vale (100 pounds), Cardy Michel (125), Susie Tuton (135), Mai’Kayla Jeffers (140) and Briana Durry (190). Mainland’s Michaela McKinney placed fourth in the
120-pound weight class.
A number of local athletes signed letters of intent on National Signing Day, Feb. 4.
A pair of Seabreeze
will continue their athletic careers at two of the highest ranked academic schools in the country. Luke
will play soccer at Brown University while linebacker/ safety Cash Kurz will play football at Rensselaer Polytechnic Institute. At Flagler Palm Coast,
Division
Florida A&M




















Items under $200
PLANT LADY HAS ASSORTED PLANTS FOR SALE!!! Elephant Ears, Snake Plants, Plus Many Other Types of Plants. Call for Appointment. Starting at $1 PC 814-574-6387
1/2” Hammer/Drill $60 As New, 7’ Tall Silk Ficus Tree Best Quality $30. Foyer Table 2ftWx30”H $45 Expresso/ Brown 386-501-3219
Treadmill Nordic Track Price $149 Excellent Condition Port Orange 386-682-9609
TWO shelves Light oak custom made. One is 48 x 11”. The second one is 71 x 11” 386-7933155. Can send pictures.
Wine & Beer Home Brewing Equipment + 4 Carboys
$130.00 Mens Gulf Clubs Right-Handed Extra Long shafts $60.00 (386) 986-1677
YOUR SERVICE
BUSINESS LLC. Deep and Regular Cleanings. We Do Residential, AirBNB, & Commercial Properties. Staging and Organizing, Biweekly, Monthly & One Time Cleanings. Move in and Move Out Cleanings. Discounts Available!!! Free estimates and Free Walk-Throughs. Job/s guaranteed. Licensed and Insured. Please Call Sue Palanca Owner 908-285-2685 or Barbara Cavender -Team Manager 386-307-4954
Ana’s


















































Samuel Serrano Velazquez, also known by a collection of nicknames—Flaco, Sam Savin, and El Pulpo, to name a few—passed away peacefully, surrounded by the deep love of his family, on February 1st, 2026, in Palm Coast, Florida. He was 76 years old.
Born on January 13th, 1950, in Fajardo, Puerto Rico, Samuel carried the spirit of the Caribbean throughout his life. As a young man, he moved to Colquehoun, on the island of St. Croix, where he spent his youth. His life was a testament to his strong spirit, shown by relentless hard work, infectious laughter, and an unwavering, unconditional love for his family.


Funeral Services, 460 Palm Coast Pkwy, Ste 3, Palm Coast. Samuel Serrano Velazquez January 13th, 1950 - February 1st, 2026
He was also a favorite uncle to countless nieces and nephews who adored him, drawn to his charismatic personality and unforgettable character.
Samuel was a lifelong teacher, not only through his many lessons but through his very example. Even children who came into his life later on (Tajh Q. Stovall, Derek M. Banghart.. Farmer Brown and the Jack*ss, we will let them debate which one they were). Quickly learned to love and respect him. He could meet new people anywhere and make friends he did not know he wanted. His lessons—in strength, integrity, honor, and love—are now deeply embedded in the lives of all who knew him.
To his family and friends, Samuel was much more than a loved one; he was a force of nature—a powerful storyteller, a man whose jokes created
Samuel was a devoted husband to his widow, Sandra Felix Serrano. He was also a cherished younger brother to his living siblings, Teofilo Serrano, Carmen Felix, Evelyn Ortiz, and those who have passed on. Samuel’s life was powerfully defined by his immense dedication to those he loved most. He was a man who took pride in his identity, his roots, and the legacy he created. He leaves behind children who will carry his memory forward: Samuel Serrano Jr., Marcos Serrano, Joel Serrano, Juan A. Melendez Jr., Lizandra Serrano, Clayton Williams, Esther Williams, Amylyn Serrano, and Maribel Serrano Stovall. He leaves behind his grandchildren: Katana, Emmanuel, Emmiett, Ethan, Edwin, Diego, Adam, Raquel, Caralyna, Aaliyah, Samuel, Ezekiel, Noah, Rosalie, Cain, Azia, Brittany, Sean, Mesayel, and Malik. He wanted them to embrace his legacy and pass it on.

non-stop laughter, a true creative spirit, and a man who saw everything around him as an opportunity to make someone smile. The sound of his laughter and the wisdom of his advice will be missed by many for the rest of their lives. Rest assured, he has found his ultimate peace. We can picture him now, looking down on us all with a cold Medalla in his hands, standing proudly on a boat in the beautiful blue waters he loved so much, undoubtedly getting ready to take one last, perfect dive. Services will be private, and are under the direction of










Florida.
Dated 2/13/2026. Gavin Petersen / TORCH PRODUCTS GROUP INC 7763-336127
Feb. 19, 2026 Notice Under Fictitious Name Law According to Florida Statute Number 865.09
NOTICE IS HEREBY GIVEN that the undersigned, desiring to engage in business under the Fictitious Name of Clinical Integrity Collective, located at 3171 N Ocean Shore Blvd, in the City of Flagler Beach, Flagler County, FL 32136, intends to register the said name with the Division of Corporations of the Department of State, Tallahassee, Florida. Dated 2/10/2026. Clinical Integrity Collective 7763-336245 Feb. 19, 2026 IN THE CIRCUIT COURT FOR THE SEVENTH JUDICIAL CIRCUIT IN AND FOR FLAGLER COUNTY, FLORIDA
PROBATE DIVISION: 48 IN RE: ESTATE OF ANTONIO
ALMEIDA SOUSA, A/K/A, ANTONIO A. SOUSA, DECEASED. CASE NO.: 2026-CP-000040
NOTICE TO CREDITORS The administration of the Estate of ANTONIO ALMEIDA SOUSA, a/k/a
ANTONIO A. SOUSA, deceased, whose date of death was October 13, 2025, is pending in the Seventh Judicial Circuit Court in and for Flagler County, Florida, Probate Division, the address of which is 1769 East
The Personal Representative has no duty to discover whether any property held at the time of the Decedent's death by the Decedent or the Decedent's surviving spouse is property to which the Florida Uniform Disposition of Community Property Rights at Death Act as described in Sections 732.216732.228, Florida Statutes, applies, or may apply, unless a written demand is made by a creditor as specified under Section 732.2211, Florida Statutes. ALL CLAIMS NOT FILED WITHIN THE TIME PERIODS SET FORTH IN FLORIDA STATUTES SECTION 733.702 WILL BE FOREVER BARRED. NOTWITHSTANDING THE TIME PERIODS SET FORTH ABOVE, ANY CLAIM FILED TWO (2) YEARS OR MORE AFTER THE DECEDENT’S DATE OF DEATH IS BARRED. The publishing newspaper is Palm Coast Observer. The date of first publication of this notice is February 19, 2026.
Signed on this 15th day of January, 2026.
DIANE SOUSA LOCKE, Personal Representative 7 Valley Field Road North Sandy Hook, Connecticut 06482
Attorney for Personal Representative
Karina N. Leon, Esq. Florida Bar No.: 1033856 3001 PGA Boulevard, Suite 104 Palm Beach Gardens, Florida 33410 Telephone: (561) 214-8500 7763-335954
Feb. 19, 26, 2026 NOTICE OF PUBLIC HEARING TO CONSIDER REPEAL OF RULES BY GRAND HAVEN COMMUNITY DEVELOPMENT DISTRICT In accordance with Chapters 190 and 120, Florida Statutes, the Grand Haven Community Development District (“District”) hereby gives notice of a public hearing on proposed repeal of Chapter 2 the District’s Rules of Procedure regarding Water and Wastewater Regulations
The purpose and effect of the proposed repeal is to eliminate the rule as being obsolete, since the water and wastewater facilities were sold in 2005. Specific legal authority for the proposed amendment includes Sections 190.011(5), 190.012(3), 120.54, and 120.81, Florida Statutes (2025).
A copy of the rule proposed for repeal may be obtained by contacting the District Manager at 250 International Parkway, Suite 208, Lake Mary, FL 32746, (321) 263-0132 ext. 193, or by email at dmcinnes@vestapropertyservices.com
(“District Office”). A public hearing will be conducted by the Board of Supervisors of the Grand Haven Community Development District (“District”) on March 19, 2026, at 9:00 a.m. at the Grand Haven Room, Grand Haven Village Center, 2001 Waterside Parkway, Palm Coast, Florida 32137.
If anyone chooses to appeal any decision of the District’s Board with respect to any matter considered at the hearing, such person is required to have a verbatim record of the proceedings including the testimony and evidence upon which such appeal is to be based and should ensure that such a record is made accordingly. Pursuant to provisions of the Americans with Disabilities Act, any person requiring special accommodations to participate in this hearing is asked to advise the District Office at least 48 hours before the meetings. If you are hearing or speech impaired, please contact the Florida Relay Service at 1 (800) 9558770, which can aid you in contacting the District Office.
District Manager Grand Haven Community Development District 7763-336084 Feb. 19, 2026
PUBLIC NOTICE Anthemnet, Inc proposes to build a 150-foot monopole communications tower at the approx. vicinity of Sesame Blvd, Palm Coast, Flagler County, FL 32164 [Lat: 29-26-34.1 N, Long: -81-1046.75 W]. Public comments regarding potential effects from this site on historic properties may be submitted within 30 days from the date of this publication to: Trileaf Corp, Jennifer Esch, j.esch@ trileaf.com, 2600 Maitland Center Pkwy, Ste 330, Maitland, FL 32751, 407-6607840. 7763-335810
Feb. 19, 2026
PUBLIC NOTICE NOTICE IS HEREBY GIVEN THAT in accordance with Section 177.101 of the Florida Statutes and in accordance with Sections 336.09 and 336.10, Florida Statutes, Rayna Sink and William N. Sink, wife and husband, as the owners of the subject lands included within a plat and roadway vacation petition, requested that the Board of County Commissioners of Flagler County, Florida, consider its request to vacate that portion of the platted lands and platted rights-of-way described below, and on February 9, 2026 the Board of County Commissioners adopted Resolution No. 2026-08 during its regular scheduled meeting in the Board Chambers at 1769 E. Moody Boulevard, Building 2, Bunnell, Florida, vacating and abandoning the portions of the platted lands and platted rights-ofway described below: A certain portion of Fleetwood Terrace, Unit No. 1, according to the plat thereof recorded in Plat Book 2, Page 41, of the Public Records of Flagler County, Florida, together with a portion of Alabama Avenue, a 50 foot wide right-of-way, a portion of Syracuse Street (excluding those portions previously vacated through Resolution No. 88-65), a 50 foot wide right-of-way, a portion of Wyoming Avenue, a 50 foot wide right-of-way, and all of the unnamed 10 foot wide alleyway within Block 6, all as shown on said Fleetwood Terrace, Unit No. 1 plat, also described as a subdivision comprising all of Tracts 1, 2 and 3, Block A, Section 8, Township 13 South, Range 31 East, Flagler County, Florida, according to the Bunnell Development Company plat as recorded in Map Book 1, Page 1, Public Records of Flagler County, Florida, and all lying in Section 8, Township 13 South, Range 31 East, said Flagler County, with said portion of the Fleetwood Terrace, Unit No. 1, plat to be vacated being that portion that falls within the boundary of that certain property described as follows: Lots 20 through 36, and Lots 1 through 19, lying east of Highway, Block 5; and Lot 15 through 23, and Lot 1 through 9, lying east of Highway, Block 9; together with vacated alleys and westerly one-half of vacated Syracuse Street; Fleetwood Terrace Subdivision, Map Book 2, Page 41, Public Records of Flagler County, Florida. Less and except the southerly 225 feet thereof. All of the above being more particularly described as follows: as a Point of Reference, commence at the southwest corner of Lot 14, Block 9, said Fleetwood Terrace Subdivision; thence N89°19'42"E, along the south line of said Lot 14, 94.04 feet to the easterly right of way line of U.S. Hwy. #1, as now (1994) established and occupied; thence N17°23'09"W, along the said easterly right of way line, 374.14 feet to north line of Lot 1, said Block 9 and the Point of Beginning. From the Point of
Beginning, continue N17°23'09"W, along said easterly right of way line, a distance of 534.40 feet to the south line of Lot 16, Block 1, said Fleetwood Terrace; thence, departing said easterly right of way line and along the south line of said Lot 16, Block 1 and along the south line of Lot 32, said Block 1 and an easterly projection thereof, N89°19'05"E a distance of 235. 78 feet to the centerline of Syracuse Street, a 50 foot wide right of way per said Fleetwood Terrace; thence, along said centerline, S01 °07'54"E a distance of 238.12 Feet; thence, continuing along said centerline, S16°02'54"E a distance of 241.65 feet to the easterly projection of the north line of Lot 15, Block 9, said Fleetwood Terrace; thence, along said easterly projection and along the north line of Lot 15, Block 9 and Lot 1, Block 9, S73°56'21 "W a distance of 153.59 feet to the Point of Beginning. Containing 2.0469 acres of land, more or less. and A portion of Blocks 6, 10 and the adjoining vacated streets, Fleetwood Terrace Subdivision, as recorded in Map Book 2, Page 41 of the Public Records of Flagler County, Florida, being all that property lying southerly of the north line of Alabama Avenue, a 50 foot wide right of way as shown on said plat of Fleetwood Terrace, northerly of the south line of said Fleetwood Terrace, easterly of the centerline of Syracuse Street, a 50 foot wide right of way as shown on said Fleetwood Terrace, and westerly of that property described in Official Record Book 294, Page 969 of said public records and being more particularly described as follows: Beginning at the southwest corner of Lot 24, Block 2, Fleetwood Terrace Subdivision run S01 °07'55"E, across vacated Alabama Avenue and along the west line of Lots 15 through 18, Block 6, a distance of 235.10 feet; thence, S17°18'13"E, along a new line through Lots 19 through 22 of said Block 6, vacated Wyoming Avenue, Lots 1 through 10, Block 10, vacated Montgomery Street and vacated Texas Avenue, a distance of 690.36 feet to a point on the south line of said Texas Avenue; thence, S89°14'31"W, along the south line of said Texas Avenue, a distance of 161.41 feet to the intersection of said south line and the centerline of vacated Syracuse Street, a 50 foot wide right of way as shown on said Fleetwood Terrace; thence, departing the south line of said Texas Avenue and along the centerline of said Syracuse Street, N16°02'54"W a distance of 683.13 feet; thence, continuing along said centerline, N01 °07'54"W a distance of 238.12 feet to the intersection of said centerline and the north line of the aforementioned Alabama Avenue; thence N89°19'05"E, along said north line, a distance 144.96 feet to the point of beginning. Containing 3.12 acres of land, more or less. Less and except the property on the following page: A portion of Fleetwood Terrace Subdivision, as recorded in Plat Book 2, Pg. 41, of the Public Records of Flagler County, Florida, being described as follows: Lots 1 through 14, inclusive, Block 9, lying easterly of U.S. Hwy. #1; together with all of Lots 15 through 30, inclusive, Block 9; together with the alley lying between the above lots; together with that portion of Lots 1 through 14, Block 10, as lies westerly of that land deeded per Official Record Book 294, Page 969 of said public records; together with Syracuse Street as shown on said plat lying north of the north right of way line of Texas Avenue as shown on said plat of Fleetwood Terrace, and south of the easterly projection of the northerly line of said Lot 15; said alley and Syracuse Street being vacated by Flagler
Ordinance as recorded in ORB 372, Page 163 of the Public Records of Flagler County, Florida, together with that portion of Montgomery Street as shown on said plat of Fleetwood Terrace as lies westerly of the property deeded in Official Record Book 294, Page 969 of said public records, together with that portion of Texas Avenue as shown on said plat as lies easterly of said U.S. Hwy. #1 and westerly of that property deeded in Official Record Book 294, Page 969. 7763-335823
Feb. 19, 2026 NOTICE OF SELF STORAGE UNIT SALE Go Store It 4601 E. Moody Blvd Suite A7 Bunnell FL, 32110
OF MARIE A. ZERAH, AKA MARIE ANNETTE ZERAH, AKA MARIE ANTOINETTE ZERAH, AKA ANNETTE ZERAH, AKA ANTOINETTE ZERAH, DECEASED. FILE NO. 502025CP005601XXXAMB NOTICE TO CREDITORS (Summary Administration) TO ALL PERSONS HAVING CLAIMS OR DEMANDS AGAINST THE ABOVE ESTATE:
You are hereby notified that an Order of Summary Administration has been entered in the estate of MARIE A. ZERAH, aka MARIE ANNETTE ZERAH, aka MARIE ANTOINETTE ZERAH, aka ANNETTE ZERAH, aka ANTOINETTE ZERAH, deceased, File Number 502025CP005601XXXAMB, by the Circuit Court for Palm Beach County, Florida, Probate Division, the address of which is 205 N. Dixie Hwy, West Palm Beach FL 33401; that the decedent's date of death was September 15, 2025; that the total value of the estate is less than $75,000, and that the names and addresses of those to whom it has been assigned by such order are: SION RENE ZERAH, as trustee of the


NOTICE OF PUBLIC MEETING CITY OF BUNNELL FLORIDA
NOTICE IS HEREBY GIVEN THAT THE CITY OF BUNNELL FLORIDA will hold a Public Hearing as authorized by law at 6:00 P M on the 3rd day of March 2026, for the purpose of hearing Ordinance 2026-XX (Application No FLUMA 2026-01 ), before the Planning, Zoning and Appeals Board, in the Chambers Meeting Room of the Bunnell Administration Complex located at 2400 Commerce Pkwy Bunnell Florida 32110. ORDINANCE 2026-XX AN ORDINANCE OF THE CITY OF BUNNELL FLORIDA AMENDING THE CITY OF BUNNELL 2035
COMPREHENSIVE PLAN AS PREVIOUSLY AMENDED; PROVIDING FOR THE SMALL-SCALE AMENDMENT TO THE FUTURE LAND USE MAP IN THE FUTURE LAND USE ELEMENT OF THE CITY OF BUNNELL 2035 COMPREHENSIVE PLAN RELATIVE TO CERTAIN REAL PROPERTY TOTALING 45.42± ACRES BEARING PARCEL ID: 04-12-30-555000050-0021 AND LOCATED AT 439 COUNTY ROAD 13, IN THE CITY OF BUNNELL LIMITS FROM AGRICULTURE (AG)" TO AGRICULTURAL COMMUNITY INDUSTRIAL (ACI)"; PROVIDING FOR LEGISLATIVE FINDINGS AND INTENT; PROVIDING FOR ASSIGNMENT OF THE LAND USE DESIGNATION FOR THE PROPERTY; PROVIDING FOR SEVERABILITY; PROVIDING FOR RATIFICATION OF PRIOR ACTS OF THE CITY; PROVIDING FOR THE ADOPTION OF MAPS BY REFERENCE; PROVIDING FOR CONFLICTS; PROVIDING FOR CODIFICATION AND DIRECTIONS TO THE CODE CODIFIER AND PROVIDING FOR AN EFFECTIVE DATE ALL INTERESTED PERSONS ARE INVITED TO PARTICIPATE as may be legally permitted on the day of the meeting Instructions on how to participate by electronic or other means if legally permitted would be found on the City of Bunnell s website at www bunnellcity us on the homepage The public is advised to check the City s website for up-to-date information on
changes
will be
hearing and
and the
to appear
or
which the
the Ordinance,
or
, might
the
of
Ordinance at a
A copy of all pertinent information to this Ordinance can be obtained at the Bunnell Administration Complex 2400 Commerce Pkwy Bunnell FL 32110 Persons with disabilities needing assistance to attend this proceeding should contact the Bunnell City Clerk at (386) 437-7500 x 5 at least 48-business hours prior to the meeting

NOTICE OF PUBLIC MEETING CITY OF BUNNELL FLORIDA
NOTICE IS HEREBY GIVEN THAT THE CITY OF BUNNELL FLORIDA will hold a Public Hearing as authorized by law at 6:00 P M on the 3rd day of March 2026, for the purpose of hearing Ordinance 2026-XX (Application No ZMA 2026-02), before the Planning, Zoning and Appeals Board, in the Chambers Meeting Room of the Bunnell Administration Complex located at 2400 Commerce Pkwy Bunnell Florida 32110. ORDINANCE 2026-XX
AN ORDINANCE OF THE CITY OF BUNNELL FLORIDA PROVIDING FOR THE REZONING OF CERTAIN REAL PROPERTY CONTAINING 406.09± ACRES, LOCATED AT 261 COUNTY ROAD 45 IN THE CITY OF BUNNELL LIMITS FROM FLAGLER COUNTY “AC, AGRICULTURAL” TO CITY OF BUNNELL AG&S AGRICULTURAL AND SILVICULTURE DISTRICT ”; PROVIDING FOR THE TAKING OF IMPLEMENTING ADMINISTRATIVE
ACTIONS; PROVIDING FOR THE ADOPTION OF MAPS BY REFERENCE; REPEALING ALL CONFLICTING ORDINANCES; PROVIDING FOR SEVERABILITY; PROVIDING FOR NON CODIFICATION AND PROVIDING FOR AN EFFECTIVE DATE
ALL INTERESTED PERSONS ARE INVITED TO PARTICIPATE as may be legally permitted on the day of the meeting Instructions on how to participate by electronic or other means if legally permitted would be found on the City of Bunnell s website at www bunnellcity us on the homepage
The public is advised to check the City s website for up-to-date information on any changes to the manner in which the meeting will be held and the location The failure of a person to appear during said hearing and comment on or object to the Ordinance either in person or in writing might preclude the ability of such person to contest the Ordinance at a later date A copy of all pertinent information to this Ordinance can be obtained at the Bunnell Administration Complex 2400 Commerce Pkwy Bunnell FL 32110 Persons with disabilities needing assistance to attend this proceeding should contact the Bunnell City Clerk at (386) 437-7500 x 5 at least 48-business hours prior to the meeting
OF THE CITY COMMISSION OF THE CITY OF FLAGLER BEACH FLORIDA TO ANNEX PROPERTY TO BE INCLUDED WITHIN THE CORPORATE AREA AND CITY LIMITS OF THE CITY OF FLAGLER BEACH; PROVIDING FOR THE ANNEXATION OF APPROXIMATELY 210.70 ACRES OF PROPERTY DESCRIBED IN EXHIBIT "A" TO THIS ORDINANCE AND LYING IN THE AREAS PROXIMATE TO THE EXISTING CITY LIMITS OF THE CITY OF FLAGLER BEACH FLAGLER COUNTY FLORIDA; PROVIDING FOR ANNEXATION IN ACCORDANCE WITH THE VOLUNTARY ANNEXATION PROVISIONS OF SECTION 171.044, FLORIDA STATUTES; PROVIDING FOR ANNEXATION OF REAL PROPERTY/AMENDMENT OF CORPORATE/CITY LIMITS; PROVIDING FOR RIGHTS AND PRIVILEGES RESULTING FROM ANNEXATION UPON LAND USES; PROVIDING FOR EFFECT ON A VALOREM TAXES; PROVIDING FOR EFFECT ON BUSINESSES AND OCCUPATIONS; PROVIDING FOR EFFECT ON BUSINESSES AND OCCUPATIONS; PROVIDING FOR CONFLICTS SEVERABILITY AND AN EFFECTIVE DATE
Interested parties may appear at the meeting and be heard with respect to the proposed ordinance
Copies of the proposed Ordinance and current legal description of the property by metes and bounds are available and may be inspected or obtained from the office of the City Clerk 105 S 2nd Street Flagler Beach Florida (386) 517-2000 Ext 233. The subject property comprising of approximately 210.70 acres is located south of State Road 100/Moody Blvd, east of John Anderson Hwy and west of the lntracoastal Waterway, as depicted in the map below
NOTICE OF PUBLIC MEETING CITY OF BUNNELL FLORIDA
NOTICE IS HEREBY GIVEN THAT THE CITY OF BUNNELL FLORIDA will hold a Public Hearing as authorized by law at 6:00 P M on the 3 rd day of March 2026, for the purpose of hearing Ordinance 2026-XX (Application No FLUMA 2026-02), before the Planning, Zoning and Appeals Board, in the Chambers Meeting Room of the Bunnell Administration Complex located at 2400 Commerce Pkwy Bunnell Florida 32110.
ORDINANCE 2026-XX
AN ORDINANCE OF THE CITY OF BUNNELL FLORIDA AMENDING THE CITY OF BUNNELL 2035 COMPREHENSIVE PLAN, AS PREVIOUSLY AMENDED; PROVIDING FOR THE LARGESCALE AMENDMENT TO THE FUTURE LAND USE MAP IN THE FUTURE LAND USE ELEMENT OF THE CITY OF BUNNELL 2035 COMPREHENSIVE PLAN RELATIVE TO CERTAIN REAL PROPERTY TOTALING 242.45± ACRES LOCATED AT 261 COUNTY ROAD 45, IN THE CITY OF BUNNELL LIMITS FROM FLAGLER COUNTY AGRICULTURE & TIMBERLANDS (AG&T)” TO CITY OF BUNNELL “AGRICULTURAL & SILVICULTURE (AG&S)”; PROVIDING FOR LEGISLATIVE FINDINGS AND INTENT; PROVIDING FOR ASSIGNMENT OF THE LAND USE DESIGNATIONS FOR THE PROPERTY; PROVIDING FOR SEVERABILITY; PROVIDING FOR RATIFICATION OF PRIOR ACTS OF THE CITY; PROVIDING FOR THE ADOPTION OF MAPS BY REFERENCE; PROVIDING FOR CONFLICTS; PROVIDING FOR CODIFICATION AND DIRECTIONS TO THE CODE CODIFIER AND PROVIDING FOR AN EFFECTIVE DATE ALL INTERESTED PERSONS ARE INVITED TO PARTICIPATE as may be legally permitted on the day of the meeting Instructions on how to participate by electronic or other means if legally permitted would be found on the City of Bunnell s
NOTICE: If a person decides to appeal any decision made by the Planning, Zoning, and Appeals Board on this matter a recording of the proceeding may be needed and for such purposes the person may need to ensure that a verbatim record is made which includes the testimony and evidence upon which the appeal is based (Section 286.0105, Florida Statutes)

7763-336506 Feb 19, 2026 FIRST INSERTION NOTICE OF FORECLOSURE SALE IN THE CIRCUIT COURT OF THE SEVENTH JUDICIAL CIRCUIT OF FLORIDA IN AND FOR FLAGLER COUNTY GENERAL JURISDICTION DIVISION CASE NO. 2025 CA 000403 FREEDOM MORTGAGE CORPORATION, Plaintiff, vs. MARCOS ANDREW FIGUEROA, et al., Defendant. NOTICE IS HEREBY GIVEN pursuant to a Summary Final Judgment of Foreclosure entered January 13, 2026 in Civil Case No. 2025 CA 000403 of the Circuit Court of the SEVENTH JUDICIAL CIRCUIT in and for Flagler County, Bunnell, Florida, wherein FREEDOM MORTGAGE CORPORATION is Plaintiff and Marcos Andrew Figueroa, et al., are Defendants, the Flagler County Clerk of Court, TOM W. BEXLEY, will sell to the highest and best bidder for cash online via https://flagler. realforeclose.com/index.cfm in accordance with Chapter 45, Florida Statutes on the 13th day of March, 2026 at 11:00 AM on the following described property as set forth in said Summary Final Judgment, to-wit: Lot 65, The Trails, according to the plat as recorded in Plat Book 40 Page 28, of the Public Records of Flagler County, Florida. Any person claiming an interest in the surplus from the sale, if any, other than the property owner as of the date of the lis pendens, must file a claim before the clerk reports the surplus as unclaimed. If you are a person with a disability who needs an accommodation in order to access court facilities or participate in a court proceeding, you are entitled, at no cost to you, to the provision of certain assistance. To request such an accommodation, please contact Court Administration in advance of the date the service is needed: Court Administration, 125 E. Orange Ave., Ste. 300, Daytona Beach, FL 32114; (386) 257-6096. Hearing or voice impaired, please call 1 (800) 955-8770. /s/Robyn Katz Robyn Katz, Esq. McCalla Raymer Leibert Pierce, LLP Attorney for Plaintiff 225 East Robinson Street, Suite 155 Orlando, FL 32801 Phone: (407) 674-1850 Fax: (321) 248-0420 Email: MRService@mccalla.com Fla. Bar No.: 146803 25-12646FL February 19, 26, 2026 26-00048G
NOTICE: If a person decides to appeal any decision made by the Planning Zoning and Appeals Board on this matter a recording of the proceeding may be needed and for such purposes the person may need to ensure that a verbatim record is made which includes the testimony and evidence upon which the appeal is based (Section 286.0105, Florida Statutes) 7763-336502 Feb 19, 2026
This notice is pursuant to the provisions of Chapter 166 and 171, Florida Statutes and the Charter and Ordinances of the City of Flagler Beach Florida as amended and supplemented Subject annexation meets the statutory criteria for annexation as established in Chapter 171, Florida Statutes

FIRST INSERTION
NOTICE OF FORECLOSURE SALE IN THE CIRCUIT COURT OF THE SEVENTH JUDICIAL CIRCUIT OF FLORIDA IN AND FOR FLAGLER COUNTY GENERAL JURISDICTION DIVISION CASE NO. 2025 CA 000493 LAKEVIEW LOAN SERVICING, LLC, Plaintiff, vs. JUSTIN T. BROWNE A/K/A JUSTIN TAYLOR BROWNE, et al., Defendant.
Persons are advised that, if they decide to appeal any decision made at these meetings/hearings, they will need a record of the proceedings and for such purpose, they may need to ensure that a verbatim record of the proceedings is made which record includes the testimony and evidence upon which the appeal is to be based per Section 286.0105, Florida Statutes In accordance with the Americans with Disabilities Act persons needing assistance to participate in any of these proceedings should contact the City Clerk s Office at (386) 517-2000 Ext 233 at least 48 hours prior to the meeting
the
verbatim
the
and
is
upon which
(
is
Statutes)
286.0105,


NOTICE IS HEREBY GIVEN pursuant to a Summary Final Judgment of Foreclosure entered January 12, 2026 in Civil Case No. 2025 CA 000493 of the Circuit Court of the SEVENTH JUDICIAL CIRCUIT in and for Flagler County, Bunnell, Florida, wherein LAKEVIEW LOAN SERVICING, LLC is Plaintiff and Justin T. Browne a/k/a Justin Taylor Browne, et al., are Defendants, the Flagler County Clerk of Court, TOM W. BEXLEY, will sell to the highest and best bidder for cash online via https://flagler. realforeclose.com/index.cfm in accordance with Chapter 45, Florida Statutes on the 13th day of March, 2026 at 11:00 AM on the following described property as set forth in said Summary Final Judgment, to-wit: Lot 24, Block 131, DAYTONA NORTH, according to the plat thereof, recorded in Plat Book 10, Page 1, of the Public Records of Flagler County, Florida. Any person claiming an interest in the surplus from the sale, if any, other than the property owner as of the date of the lis pendens, must file a claim before the clerk reports the surplus as unclaimed.

7763-334490 Feb 12, 19, 2026
Feb 19, 2026 FIRST INSERTION NOTICE OF ACTION IN THE CIRCUIT COURT OF THE SEVENTH JUDICIAL CIRCUIT IN AND FOR FLAGLER COUNTY, FLORIDA CASE NO. 2025-CA-000600 CITY OF FLAGLER BEACH, FLORIDA, a Florida Municipal Corporation, Plaintiff, vs. ARTEDI CORTEZ, an individual; WELHELMINA CORTEZ, an individual, Defendant(s). TO: ARTEDI CORTEZ; and WELHELMINA CORTEZ YOU ARE NOTIFIED that an action for foreclosure of code enforcement lien on the following property in
If you are a person with a disability who needs an accommodation in order to access court facilities or participate in a court proceeding, you are entitled, at no cost to you, to the provision of certain assistance. To request such an accommodation, please contact Court Administration in advance of the date the service is needed: Court Administration, 125 E. Orange Ave., Ste. 300, Daytona Beach, FL 32114; (386) 257-6096. Hearing or voice impaired, please call 1 (800) 955-8770.
/s/Robyn Katz Robyn Katz, Esq. McCalla Raymer Leibert Pierce, LLP Attorney for Plaintiff 225 East Robinson Street, Suite 155 Orlando, FL 32801
Phone: (407) 674-1850 Fax: (321) 248-0420 Email: MRService@mccalla.com Fla. Bar No.: 146803 25-12698FL February 19, 26, 2026 26-00049G



REQUESTING APPROVAL OF A SPECIAL EXCEPTION USE FOR TRACTOR TRAILER AND SEMITRUCK STORAGE WITHIN THE B-1, BUSINESS ZONING DISTRICT LOCATED AT 1020 DEEN ROAD ALL INTERESTED PERSONS ARE INVITED TO PARTICIPATE as may be legally permitted on the day of the meeting Instructions on how to participate by electronic or other means if legally permitted would be found on the City of Bunnell s website at www bunnellcity us on the homepage The public is advised to check the City s website for up-to-date information
FIRST INSERTION
NOTICE TO CREDITORS (Summary Administration) IN THE CIRCUIT COURT FOR FLAGLER COUNTY, FLORIDA PROBATE DIVISION File No. 2025 CP 857 Division 48 IN RE: ESTATE OF FRANK T. WENHAM Deceased. TO ALL PERSONS HAVING CLAIMS OR DEMANDS AGAINST THE ABOVE
ESTATE: You are hereby notified that an Order of Summary Administration has been entered in the estate of Frank T. Wenham, deceased, File Number 2025 CP 000857, by the Circuit Court for Flagler County, Florida, Probate Division, the address of which is 1769 E. Moody Blvd., Bunnell, FL 32110; that the decedent’s date of death was October 8, 2025; that the total value of the estate is $55,000 and that the names and addresses of those to whom it has been assigned by such order are:
Name Address Michael John Wenham 101 Crafton Road Bel Air, MD 21014
Douglas Mueller 606 Deep Ridge Road Bel Air, MD 21014
Heather Wenham Myers 113 Sunset Strip Dagsboro, DE 19939
ALL INTERESTED PERSONS ARE NOTIFIED THAT:
All creditors of the estate of the decedent and persons having claims or demands against the estate of the decedent other than those for whom provision for full payment was made in the Order of Summary Administration must file their claims with this court WITHIN THE TIME PERIODS SET FORTH IN FLORIDA STATUTES SECTION 733.702. ALL CLAIMS AND DEMANDS NOT SO FILED WILL BE FOREVER BARRED. NOTWITHSTANDING ANY OTHER APPLICABLE TIME PERIOD, ANY CLAIM FILED TWO (2) YEARS OR MORE AFTER THE DECEDENT’S DATE OF DEATH IS BARRED.
The date of first publication of this Notice is February 19, 2026.
Person Giving Notice: Michael John Wenham 101 Crafton Road Bel Air, Maryland 21014
Attorney for Person Giving Notice
Diane A. Vidal
Attorney Florida Bar Number: 1008324
CHIUMENTO LAW 145 City Place, Suite 301 Palm Coast, FL 32164
Telephone: (386) 445-8900


COUNTY, FLORIDA GENERAL JURISDICTION DIVISION CASE NO. 2025 CA 000653 ROCKET MORTGAGE, LLC F/K/A QUICKEN LOANS, LLC, Plaintiff, vs. SARA B. SOWERSBY, et. al. Defendant(s), TO: SARA B. SOWERSBY, UNKNOWN SPOUSE OF SARA B. SOWERSBY, whose
having
or
in the
is unknown and all
described
foreclosed herein. YOU
HEREBY NOTIFIED that an action to foreclose a mortgage on the following property: UNIT 307 OF THE NAUTILUS CONDOMINIUM, A CONDOMINIUM ACCORDING TO THE DECLARATION OF CONDOMINIUM THEREOF, RECORDED IN OFFICIAL RECORDS BOOK 186, PAGE(S) 241, OF THE PUBLIC RECORDS OF FLAGLER COUNTY, FLORIDA, AND ANY AMENDMENTS THERETO, TOGETHER WITH ITS UNDIVIDED SHARE IN THE COMMON ELEMENTS; AND TOGETHER WITH THE EXCLUSIVE
pending in the Circuit Court for Flagler County, Florida, Probate Division, the address of which is 1769 E. Moody Blvd. Bunnell, FL 32110. The names and addresses of the personal representative and the personal representative’s attorney are set forth below. All creditors of the decedent and other persons having claims or demands against decedent’s estate on whom a copy of this notice is required to be served must file their claims with this court ON OR BEFORE THE LATER OF 3 MONTHS AFTER THE TIME OF THE FIRST PUBLICATION OF THIS NOTICE OR 30 DAYS AFTER THE DATE OF SERVICE OF A COPY OF THIS NOTICE ON THEM. All other creditors of the decedent and other persons having claims or demands against decedent’s estate must file their claims with this court WITHIN 3 MONTHS AFTER THE DATE OF THE FIRST PUBLICATION OF THIS NOTICE. The personal representative has no duty to discover whether any property held at the time of the decedent’s death by the decedent or the decedent’s surviving spouse is property to which the Florida Uniform Disposition of Community Property Rights at Death Act as described in ss. 732.216732.228, Florida Statutes, applies, or may apply, unless a written demand is made by a creditor as specified under s. 732.2211, Florida Statutes. The written demand must be filed with the clerk. ALL CLAIMS NOT FILED WITHIN THE TIME PERIODS SET FORTH IN FLORIDA STATUTES SECTION 733.702 WILL BE FOREVER BARRED. NOTWITHSTANDING THE TIME PERIODS SET FORTH ABOVE, ANY CLAIM FILED TWO (2) YEARS OR MORE AFTER THE DECEDENT’S DATE OF DEATH IS BARRED. The date of first publication of this notice is February 19, 2026.
Personal Representative: Thomas J. Hajek, Jr. 114 Horace Street Stratford, Connecticut 06614
Attorney for Personal Representative: Diane A. Vidal
Attorney Florida Bar Number: 1008324 CHIUMENTO LAW 145 City Place, Suite 301 Palm Coast, FL 32164
Telephone: (386) 445-8900
Fax: (386) 445-6702
E-Mail: DVidal@legalteamforlife.com
Secondary E-Mail: Proserv@legalteamforlife.com February 19, 26, 2026 26-00051G
FIRST INSERTION
NOTICE TO CREDITORS IN THE CIRCUIT COURT FOR FLAGLER COUNTY, FLORIDA PROBATE DIVISION File No. 2026 CP 000073 Division 48 IN RE: ESTATE OF MARK SHERMAN PALMER
a/k/a MARK S. PALMER Deceased.
The administration of the estate of Mark Sherman Palmer, deceased, whose date of death was December 3, 2025, is pending in the Circuit Court for Flagler County, Florida, Probate Division, the address of which is 1769 East Moody Blvd. Building 1, Bunnell, Florida 32110. The names and addresses of the personal representative and the personal representative’s attorney are set forth below. All creditors of the decedent and other persons having claims or demands against decedent’s estate on whom a copy of this notice is required to be served must file their claims with this court ON OR BEFORE THE LATER OF 3 MONTHS AFTER THE TIME OF THE FIRST PUBLICATION OF THIS NOTICE OR 30 DAYS AFTER THE DATE OF SERVICE OF A COPY OF THIS NOTICE ON THEM.
All other creditors of the decedent and other persons having claims or demands against decedent’s estate must file their claims with this court WITHIN 3 MONTHS AFTER THE DATE OF THE FIRST PUBLICATION OF THIS NOTICE.
The personal representative has no duty to discover whether any property held at the time of the decedent’s death by the decedent or the decedent’s surviving spouse is property to which the Florida Uniform Disposition of Community Property Rights at Death Act as described in ss. 732.216732.228, applies, or may apply, unless a written demand is made by a creditor as specified under s. 732.2211, Florida Statutes. ALL CLAIMS NOT FILED WITHIN THE TIME PERIODS SET FORTH IN FLORIDA STATUTES SECTION 733.702 WILL BE FOREVER BARRED. NOTWITHSTANDING THE TIME PERIODS SET FORTH ABOVE, ANY CLAIM FILED TWO (2) YEARS OR MORE AFTER THE DECEDENT’S DATE OF DEATH IS BARRED.
The date of first publication of this notice is February 19, 2026.
Personal Representative: Melton Michael Tucker 311 Poinsette Avenue Lot 7 Palatka, Florida 32177
Attorney for Personal Representative: Thomas J. Upchurch, Esquire Florida Bar No. 0015821
Fax: (386) 445-6702
E-Mail: DVidal@legalteamforlife.com
Secondary E-Mail: Proserv@legalteamforlife.com February 19, 26, 2026 26-00052G
FIRST INSERTION NOTICE TO CREDITORS IN THE CIRCUIT COURT FOR FLAGLER COUNTY, FLORIDA PROBATE DIVISION File No. 2026 CP 000706 Division 48 IN RE: ESTATE OF DANIEL RICHARD CLARK, aka DANIEL R. CLARK Deceased.
The administration of the estate of DANIEL RICHARD CLARK, also known as DANIEL R. CLARK, deceased, whose date of death was June 19, 2025, is pending in the Circuit Court for Flagler County, Florida, Probate Division, the address of which is 1769 E. Moody Blvd., Bunnell, FL 321100787. The names and addresses of the personal representative and the personal representative’s attorney are set forth below. All creditors of the decedent and other persons having claims or demands against decedent’s estate, on whom a copy of this notice is required to be served, must file their claims with this court ON OR BEFORE THE LATER OF 3 MONTHS AFTER THE TIME OF THE FIRST PUBLICATION OF THIS NOTICE OR 30 DAYS AFTER THE DATE OF SERVICE OF A COPY OF THIS NOTICE ON THEM. All other creditors of the decedent and other persons having claims or demands against decedent’s estate must file their claims with this court WITHIN 3 MONTHS AFTER THE DATE OF THE FIRST PUBLICATION OF THIS NOTICE. ALL CLAIMS NOT FILED WITHIN THE TIME PERIODS SET FORTH IN FLORIDA STATUTES SECTION 733.702 WILL BE FOREVER BARRED. NOTWITHSTANDING THE TIME PERIOD SET FORTH ABOVE, ANY CLAIM FILED TWO (2) YEARS OR MORE AFTER THE DECEDENT’S DATE OF DEATH IS BARRED.
The date of first publication of this notice is: February 19, 2026. Signed on this 13th day of OCTOBER, 2025.
PATRICIA A. CLARK
Personal Representative 16 Eastman Lane Palm Coast, Florida 32164
Robert Kit Korey
Attorney for Personal Representative Florida Bar No. 147787
Korey Law, P.A. 595 W. Granada Blvd., Suite A Ormond Beach, Florida 32174
Telephone: 386-677-3431
Email: kit@koreylawpa.com
Secondary Email: dwargo@koreylawpa.com February 19, 26, 2026 26-00053G
FIRST INSERTION
Notice Under Fictitious Name Law
According to Florida Statute Number 865.09
NOTICE IS HEREBY GIVEN that the undersigned, desiring to engage in business under the Fictitious Name of TeamLogic IT 60952 located at 50 Leanni Way, Unit E3 in the City of Palm Coast, Flagler, FL 32137 intends to register the said name with the Division of Corporations of the Department of State, Tallahassee, Florida. Dated this 13th day of February, 2026 Jose Carbia February 19, 2026 26-00055G
Upchurch Law 1616 Concierge Blvd. Suite 101 Daytona Beach, Florida 32117
Telephone: (386) 492-3871
Primary Email: service@upchurchlaw.com
Secondary Email: clutes@upchurchlaw.com February 19, 26, 2026 26-00054G
FIRST INSERTION NOTICE TO CREDITORS (Summary Administration) IN THE CIRCUIT COURT FOR FLAGLER COUNTY, FLORIDA PROBATE DIVISION File No. 2025 CP 000733 Division 48 IN RE: ESTATE OF JOSEPH T. LABRUZZA, JR. Deceased.
TO ALL PERSONS HAVING CLAIMS OR DEMANDS AGAINST THE ABOVE
ESTATE:
You are hereby notified that an Order of Summary Administration has been entered in the estate of Joseph T. LaBruzza, Jr., deceased, File Number 2025 CP 000733, by the Circuit Court for Flagler County, Florida, Probate Division, the address of which is 1769 E. Moody Blvd., Bunnell, FL 32110; that the decedent’s date of death was August 14, 2025; that the total value of exempt and non-exempt assets of the estate are $560,854 and that the names and addresses of those to whom it has been assigned by such order are: Name Address Maura Matteo 17 William Glen Drive Camden, ME 04843 Rhea Morales 32 Kiawah Avenue Freehold NJ07728 Lori Pass PO Box 194 Cotuit MA 02635
ALL INTERESTED PERSONS ARE NO-
TIFIED THAT:
All creditors of the estate of the decedent and persons having claims or demands against the estate of the decedent other than those for whom provision for full payment was made in the Order of Summary Administration must file their claims with this court WITHIN THE TIME PERIODS SET FORTH IN FLORIDA STATUTES SECTION 733.702. ALL CLAIMS AND DEMANDS NOT SO FILED WILL BE FOREVER BARRED. NOTWITHSTANDING ANY OTHER APPLICABLE TIME PERIOD, ANY CLAIM FILED TWO (2) YEARS OR MORE AFTER THE DECEDENT’S DATE OF DEATH IS BARRED. The date of first publication of this Notice is February

June 8, 2025, is pending in the Circuit Court for Flagler County, Florida, Probate Division, the address of which is Kim C. Hammond Justice Center, 1769 East Moody Blvd., Bunnell, FL 32110. The names and addresses of the personal representative and the personal representative’s attorney are set forth below. All creditors of the decedent and other persons having claims or demands against decedent’s estate, on whom a copy of this notice is required to be served, must file their claims with this court ON OR BEFORE THE LATER OF 3 MONTHS AFTER THE TIME OF THE FIRST PUBLICATION OF THIS NOTICE OR 30 DAYS AFTER THE DATE OF SERVICE OF A COPY OF THIS NOTICE ON THEM.
All other creditors of the decedent and other persons having claims or demands against decedent’s estate must file their claims with this court WITHIN 3 MONTHS AFTER THE DATE OF THE FIRST PUBLICATION OF THIS NOTICE. ALL CLAIMS NOT FILED WITHIN THE TIME PERIODS SET FORTH IN FLORIDA STATUTES SECTION 733.702 WILL BE FOREVER BARRED. A personal representative or curator has no duty to discover whether any property held at the time of the decedent’s death by the decedent or the decedent’s surviving spouse is property to which the Florida Uniform Disposition of Community Property Rights at Death Act as described in ss. 732.216-732.228, applies, or may apply, unless a written demand is made by a creditor as specified under s. 732.2211. NOTWITHSTANDING THE TIME PERIOD SET FORTH ABOVE, ANY CLAIM FILED TWO (2) YEARS OR MORE AFTER THE DECEDENT’S DATE OF DEATH IS BARRED. The date of first publication of this notice is: February 12, 2026. Signed on this 4th day of February, 2026. JOHN BALLINGER Petitioner
ADAM WARREN, ESQUIRE Florida Bar No. 0940501
501 S. Ridgewood Avenue Daytona Beach, FL 32114 Telephone (386) 252-4499
adamwarren@hawkinsandburt.com nicole@hawkinsandburt.com
Attorney for Petitioner February 12, 19, 2026 26-00044G



