AC5007 - Batch 6 - Ke Jia

Page 1


Temple Conservation and Sustainability through the Lens of Clan Association-Temple Interaction:

Case Study of Singapore Hokkien Huay Kuan and its Affiliated Temples

Ke Jia

A0283885J

DissertationsubmittedtoDepartmentofArchitecturein

PartialfulfilmentoftherequirementfortheDegreeof MASTER of ARTS IN ARCHITECTURAL CONSERVATION atthe DEPARTMENT OF ARCHITECTURE

NATIONAL UNIVERSITY OF SINGAPORE

Supervisor:Prof.WongYunnChii April2024

Abstract

In the 19th and 20th centuries, the Singapore Chinese immigrant community, characterisedbydialectalandregionaldivisions,establishedclanassociationsand temples that played a crucial role in community activities. Prior research has primarily explored these clan associations' historical and social evolution, often overlooking the complex interplays between them and the temples, particularly regarding architectural heritage and conservation. This dissertation examines the temple conservation and sustainability within the framework of clan associationtempleinteractions,focusingontheSingaporeHokkienHuayKuananditsaffiliated temples. Through historical research, netnography, site observations and interviews, thisstudyexploresthemultifaceted rolesclanassociationsplayinthe architectural heritage conservation of temples. Key findings reveal that clan associationsactivelyengageinthemanagementandstrategicplanningfortemples, addressingchallengessuchaslandacquisitionandculturalheritagetransmission. Thestudyhighlightsthetransformationinthemanagementapproachfrominformal community-based practices to structured conservation efforts facilitated by clan associations. These changes reflect broader socio-political dynamics and underscoretheevolvingnatureofheritageconservationamidsturbandevelopment pressuresinSingapore.

Keywords: Clan Association-Temple Dynamics, Singapore Hokkien Huay Kuan, SustainableCulturalPractice,ClanAssociation,ArchitecturalHeritageConservation

Acknowledgement

Withthis,mymaster'sstudiescometoanend.

First and foremost, I would like to express my sincere thanks to my supervisor, Professor Wong Yunn Chii. His meticulous instruction, thoughtful guidance, and willingness to share his vast academic experience have profoundly shaped my scholarlypursuits.IamgratefultoProfessorChenyuforhermentorship,insightful ideas, and practical approaches, as well as for facilitating connections with interviewee, which have enriched my research. I have also benefited from internshipsworksledbyher,relatedtoclanassociationresearch Iwouldalsolike tothankProfessorHoPuayPengandProfessorJohannesWidodofortheirguidance tomydissertation

Furthermore, I would liketoacknowledgemy interviewee, Josephine Gan, forher willingnesstoparticipateinmystudyandforsharinghervaluableperspectives.

A heartfelt thank you to my family, and special thanks go to my friends, Ms Dong Chenyuan, Ms Yu Xiaotong and Ms Zhang Xiaojia, for always supporting me unconditionallyandprovidingmewithacademichelpandresearchcompanionship.

Also,Iamverygratefulfortheassistanceofmyclassmates,MsLinEvaYihuaand MsLuoLiujiahe.

Lastly,IamgratefultomyhometownofFuzhouand allthepeopleIhavemetthis yearinmyfieldworkandacademicresearch.WhenIwrotemypersonalstatement last spring, mentioning my research on folk religion and community in my hometown, did I ever imagine I would be here a year later, connecting my new environmenttomyhometownthroughacademicpractice?

OnthisSoutheastAsianisland,Ihavemadeupforsomeofmyownregretsaboutmy academic interests and pursuits during my undergraduate years and have had a uniquelifeexperience.

ConcludewithtwoversesinChinese: “中天一片无情月,是我平生不悔心。”

List of Figures

Chapter 1: Introduction

1.1 Research Background

Asanislandnation,SingaporeislocatednearthesoutherntipoftheMalayPeninsula, the heart of Southeast Asia. This small island at the south end of the Straits of Malacca has key shipping lanes connecting the Pacific and Indian Oceans, which makesit anecessarynodein globalmaritimetrade and vitalforsupplies, repairs, and trading activities. Discovered by Sir Stamford Raffles of the British East India Companyintheearly19thCentury,Singaporequicklygrewtobecomeanimportant tradingandmilitarybasefortheBritishcolonialempireandoneofthebusiestports intheworld,akeynodeforinternationaltradeandshipping. Atthesametime,its location made it a transit point for East-West trade, attracting immigrants from China, India, Malaysia, and elsewhere and creating a diverse culture and demographic.

DuringthelateQingDynasty,povertyandunrestinsouthernChinapromptedmany Chinesetolookforanewlifeoverseas,andSingaporebecameamajordestination becauseofitsprivilegedandrelativelycloselocationanddemandforlabour.Inthe mid-19th Century, a large influx of Chinese immigrants entered Singapore. Since 1860,thenumberofChinese immigrantshasaccountedformorethan60%ofthe total population in Singapore. Most of these immigrants were males from the southeasterncoastalChineseprovinces,suchasFujianandGuangdong,whoworked in the docks, rubber plantations and tin mines. Together with the Straits Chinese who had previously settled in Southeast Asia, they built a complex and diverse Chinese community that significantly impacted the construction of Singapore's immigrantsociety.

Along with the British colonial Government's policy of racial segregation, the Chinese immigrant community in Singapore was clearly divided by dialect and region during this period. To cope with the challenges in the new environment, Chinese immigrants established clan associations and gangs that provided a networkofmutualassistanceandprotection. Theseclanassociationshelpedtheir members solve problems in life and work and played an essential role in maintaining cultural traditions, promoting business activities and carrying out charitableendeavours.

These clan associations were organised by some principles, namely a common nativeplace, surname,and occupation Withthearrivaland settlement ofChinese immigrants,theirneedforspiritualsupportandapermanentplaceofworshipled to the establishment of Chinese temples dedicated to the main deities of the pantheons of the different regions of southern China. Since then, various dialect groupshaveestablishedtheirowntemplesandclanassociationsonthebanksofthe SingaporeRiver.Intheearlydays,thecentralofficesoftheseclanassociationswere mainlylocatedwithinburialorreligiousplaces,andtemplesandlocalgeographical communities often intersected, forming close connections in both geographical spaceandfunctionality.

Althoughnowadaysmanytempleshavenowdisappearedinurbanregenerationor separated from the clan associations, some clan associations still retain management rights over certain temples, performing functions such as building maintenanceandeconomicsupport.

1.2 Motivation and Purpose

The motivation behind this study stems from the gaps in the existing research on the conservation of architectural heritage within the sphere of Singapore's clan

associations and their associated temples. This research aims to analyse these interactions between clan associations and their affiliated temples, both from historical and contemporary perspectives, aiming to offer new insights into sustainableconservationpractices.

1.3 Research Implication and Innovation

Thestudyendeavourstofocusonarchitecturalconservationfromtheperspective of interactions between clan associations and temples, thereby contributing to a morein-depthunderstandingofculturalheritagemanagementandfacilitatingthe developmentofmoreeffectiveandadaptiveconservationstrategies.Incontrastto previous studies, this study is more current in nature. In addition, the study innovativelyintroducesamethodologythatcombineshistoricalanalysis,fieldwork, andnetnography,providingaholisticperspectivethatwillinformfutureresearch insimilarcontexts.

1.4 Research Limitation

Whilethisstudyprovidessomeinsightsintotheconservationandsustainabilityof temple architecture influenced by clan associations, it acknowledges certain limitations.

Thescopeofthisresearchisconfinedtoaspecificculturalandgeographicalcontext, which may affect the generalizability of the findings to other regions or cultural settings. In addition, for objective reasons, the study did not conduct in-depth dialoguewithtemplemanagersorworshippers,whoseinsightscouldgreatlyenrich theunderstandingof theinteractions between templesand clan associations. The study'sinterviewsweremainlywiththestafffromtheclanassociation,whichmay beunabletocaptureacomprehensiveperspectiveandmakeobjectiveanalyses.

Chapter 2: Literature Review

2.1 Clan Associations in Singapore

PreviousresearchonSingapore'sclanassociationshasmainlyfocusedonthebroad themesofsocialorganisation,historicalevolution,andcommunitydevelopmentof theclanassociation,providingasoundfoundationforthestudy.

2.2 Chinese Community and 'Bang'

In the process of establishing the immigrant society, the dialect community facilitated the formation of Bang, which in turn laid the foundation for the clan associations. Many studies of Chinese settlements and Chinese societies in Singapore have been conducted from the perspective of the establishment and developmentofdialectcommunitiesand Bangs, and they havedealtwithChinese clanassociations,justnotasthecentreofthestudy.

From a diachronic perspective, Huang Songzan divided Singapore's Malaysian overseas Chinese society into three historical periods and regarded Chinese associationsasoneofthebasesfordivision.Heidentifiedtheformationofvarious typesofChineseassociationsasoneofthecharacteristicsoftheformativeyearsof SingaporeChinesesociety,fromthelate18thCenturytotheendofthe19thCentury (HuangS.,1981)

Some other studies concentrated on discussing power structures within dialect communitiesandBangs.Yenanalysedthestructureandorganisationofthesetwo communitiesintermsofsocialpower,informalpoliticalpowerandcoercivepower and noted that kinship-based associations, locality-based associations and secret societies were the three pillars of early Singaporean Teochew and Hokkien communityorganisations,representingthesocialpower (Yen,2010) Lidiscussed

TheanHockKeong,theleadingorganisationofHokkienBangandthepredecessor of Singapore Hokkien Huay Kuan. He analysed the structure and leadership evolutionofthetempleanditsdualfunctionalityinreligiousandcommunalmatters, providingabasisforstudyingSingaporeHokkienHuayKuan.(LiY.,2010)

2.2.1 Overview of the Chinese Clan Association in Singapore

Intheacademicrealm,theearliestmentionofChineseassociationsinSingaporecan betracedbacktothe1950s-1960s.

In1960,MauriceFreedmantooktheassociations,whichSingaporeChinesecreated and modified in the 19th Century, as the study subject. (Freedman, 1960) Victor Purcell's The Chinese in Malaya documentedthemigrationhistoryofChineseethnic groupstoSingapore.(Purcell,1965)

Charles Gambar provided an in-depth analysis of Chinese associations' evolution, structure,androlesinSingapore.Thestudydelvesintohowtheseassociationswere carriedfromChinatoSoutheastAsiabyChinesemigrants,adaptingtheircultural, social, and economic institutions to the new setting while also facing transformationsovertimefromthesocio-politicallandscape.(Gamba,1966)

The Records of Chinese Associations in Singapore, published in 1973, provides an adequatebasisforsubsequentresearch.HeclassifiedtheChineseclanassociations in Singapore into three categories: kinship-based associations, locality-based associations,andtrade-basedassociations.(WuH.,1975)

Afterwards,in1981,Yen'spaperprovidedaninsightfulanalysisoftheearlyChinese clan organisations in Singapore and Malaya, showcasing their adaptive strategies, internal dynamics, and enduring impact on the Chinese immigrant community's socialfabric.(Yen,1981)

In1992,Ngbuiltanexplanatoryparadigmtoelaborateonthedevelopmentofclan associationsin 1900-1941, whichconsists of three categoriesof factors:domestic forces associated with community evolution, the impact of the host society, and influencesemanatingfromChinaandparticularlythenativearea.(Ng,1992)

The Singapore Hokkien Clan Association, the largest Chinese clan association in SingaporefoundedbytheHokkienBang,hasbeenmentionedintheabovestudies. ThestudyusingtheSingaporeHokkienHuayKuanasaspecificobjectcanbefound in History of Singapore Hokien Huay Kuan: Evolution in Structure and Function,which examined the transformation of structure and function to trace the historical trajectoryofthisclanassociation Regardingsocialfunction,thearticleanalysedthe transformation of the sources and uses of economic income under the premise of "non-profit-making" of Singapore Hokkien Huay Kuan, which provides a basis for thesubsequentresearchonthedailymaintenanceofaffiliatedtemples.(Ren&Chen, 2002)

2.2.2 Development in Post-independence Singapore

In comparison, there are relatively few studies on the development of clan associationsinpost-independenceSingapore.

Lifocusesonthetransformation,causes,andfuturetrendsofSingapore'sChinese associations after World War II. She divided the post-World War II developments into three periods: post-war recovery, post-independence downturn, and revival since the 1980s. Factors like shifts in Chinese identity and international circumstances have significantly influenced these transformations. Moreover, she emphasised the importance of fostering a global Chinese business network in the futuredevelopmentofSingapore'sChineseassociations.(J.Li,2014)

Also, exploring the current development, Chong employed a case study approach, selectingtenclanassociationsfordetailedanalysistounderstandthemaintenance strategiestheyadoptandtheproblemstheyfacemorecomprehensively.Henoted thatwhilesomeadaptedtochangebyexpandingmembershipandactivities,others faceddemiseduetotheirinabilitytoresistchange.(Chong,1991)

WuusedtheSingaporeFederationofClanAssociations(SFCCA),foundedin1986, astheresearchsubject,examiningthefunctionsandtransformationofChineseclan associations in contemporary Singapore She discussed the relationship between ChineseclanassociationsandtheGovernmentandtheconstraintsanddifficultiesin developing (W.Wu,2009)

ThepreviousresearchshowsthatincontemporarySingapore,Chineseassociations face more difficulties and challenges in organisational form, content, and other aspects.

2.3

Religion and Temples in Singapore

2.3.1 Overview

At the same time, another part of the research was conducted on religions and religioussitesinSingapore.

In the survey by Kenneth Dean and Hue Guan Thye, the Chinese temples and CommunalAssociationsofSingaporecanbedividedintothreemaincategories:1. Popular Religions & Daoist Altars 2. Traditional & Folk Buddhists 3. Native Place AssociationsandCommonSurnameAssociations.(Hue,2018)Withthearrivaland settlementofChineseimmigrants,theirneedforspiritualsupportandapermanent place of worship led to the establishment of Chinese temples dedicated to the principaldeitiesofthedifferentregionsofsouthernChina.

In the book A General History of the Chinese in Singapore, two chapters mainly discuss the traditionalreligious beliefs and immigration community in Singapore. Amongthese,Hue'sresearchfocusesontheChineseHokkiencommunityandtheir religiousnetworks.

In particular, this study examines the Minnan (South Fujian) Protector Gods (RegionalorVillagetempleMainGods),theMinnanTaoistAltars,andtheirreligious networks connecting Fujian, China, with the Chinese communities in Singapore. (Hue,2018)ChengLimKeakfocusedonthedeitiesworshippedbythemajordialect groups, the relationship between deities and their transplantation and dialect geographical concentration, and the role of temples in the crystallisation of social structureintheearlyyearsofChinesesettlementinSingapore."(Cheng,2018)

2.3.2 Temple Architecture

The discussion of the architecture itself of the temples associated with the clan associationsismainlydominatedbydescriptiveessays(Kohl,1978;Tian,2018),while somearticlesattempttoarticulatethepowerrelationsthatarchitecturecarriesasa spatialmedium.(L.Li&Zhang,2022)

2.4 Relationship between Clan Associations and Other Institutions

Anotherpartofthestudydiscussestheinteractionbetweentheclanassociationand otherextendedinstitutions,includingtemples,schoolsandhospitals.

2.4.1 Clan Associations and Temples

Asthetypeofbuildingmostcloselyassociatedwithclanassociations,itisexpected tostudySingaporeanclanassociationsandtemplestogether.Onepartofthestudy analysesthespatialrelationshipbetweenclanassociationsandtemples. (Guo,2020;

Zhang, 2020) Zhang Jingying analysed the interaction between locality-based clan associationsandChinesetemples,summarisingseveralpatternsofinteraction. Anothertypeofstudyemphasisestheroleoftemplesinthesocialconstructionof clanassociations,"Bang"clustersandtheChinesecommunityasawhole,aswellas therelationshipbetweenthesedifferentsocialorganisations (Chiang,2015;Wang, 2007)

2.4.2

Clan Associations and Schools

In the early years, the Chinese associations were strong promoters of creating ChineseschoolsinSingapore.Liu,Lee,andTangcollectivelyexplorethesignificant roleplayedbyChineseassociationsinSingaporeindevelopingChineseeducational ventures. By running schools, funding education, and formulating educational policies,theassociationsprovidedfinancialandresourcesupport,strengtheningthe cohesivenesswithintheChinesecommunityand facilitatingculturaltransmission. Italsoreflected thecommunity'semphasisoneducation, activeparticipation, and adaptationtosocio-politicalchanges.(C.H.Lee,2004;J.Li,2014;Tang,2012)

2.4.3

Clan Associations and Hospitals

The clan association has played a central role in the founding and managing of ChinesecharitablemedicalorganisationsinSingapore. Thediscussioninthisarea focusesontheThongChaiMedicalInstitutionandSingaporeKwongWaiShiuFree Hospital. Theclanassociationsweredirectlyinvolved in the hospital'sday-to-day operation and long-term development through fundraising, space provision, and management staff. Through these medical institutions, the clan associations providedbasicmedicalservicesandstrengthenedtheculturalidentityandcohesion

withinthecommunity.(A Study on Singapore Kwong Wai Shiu Free Hospital(19081942) ,2017; A Study on Singapore Thong Chai Medical Institution,2014;F.Lin,2018)

Overall, the schools, hospitals, and religious space, represented by temples and burial grounds, together constitute the dialect group into a functional body that integratesburial,education,andmedicalcare

2.5 Research Limitation

While previous studies have provided detailed historical and sociological perspectivesonSingapore'sChineseclanassociationsandtheirassociatedtemples, most research has not approached the topic from architecture and architectural conservationperspectives.Muchoftheexistingliteratureontheemergenceofthese templesandtheirinteractionswithdialectcommunitieshasbeendescriptive,with fewer analytical studies available. Detailed introductions and records about these clanassociationspredominantlycomefromtheassociations'ownpublications. Moreover, the overall quantity of studies is relatively limited, and comprehensive andmulti-perspectiveanalysesarelacking.Previousresearchhasalsofallenshort indetailinghowcontemporaryclanassociationsinteractwithtemplestopromote conservationandsustainabilityandhasnotadequatelyexploredtheassessmentof templevalueorarchitecturalconservation. Therefore,itisnecessarytosupplementexistingresearchwithaninvestigationinto the real-world interactions between Singapore's clan associations and temples, focusing on temple operations, architectural maintenance, and multi-subjective management. This approach will address the gaps in understanding the architectural significance and conservation efforts associated with these cultural landmarks.

Chapter 3: Research Methodology

3.1 Research Scope

The research objectives include the Singapore Hokkien Huay Kuan and its four affiliatedtemples,includingKimLanBeo,GohChorTuaPekKong,ThianHockKeng andLengSanTengTemple

Table1BasicInformationonTemples(DesignbyAuthor)

English Name Chinese

KimLanBeo

Founding

Timeof Renovation Timeof Receivership

金兰庙 1830 1881,2024 1960s

GohChorTuaPekKong 梧槽大伯公庙 1847 1920,1928,1986 1937

ThianHockKeng

天福宫 1860 1998-2000 1840

LengSanTengTemple 麟山亭 1885 1866,1879,1915 1884

Fig.1GeographicalLocationoftheFourTemplesandSHHK

(Source:GoogleEarth)

3.1.1 Singapore Hokkien Huay Kuan

Singapore Hokkien Huay Kuan (SHHK), founded in 1840, is one of Singapore's largestandmostinfluentialclanassociations.Establishedbyagroupofimmigrants from Hokkien, the clan association initially helped newly arrived Hokkien

immigrants overcome the difficulties of settling down in this new place and provided a platform for social support and communication with their hometown. Over time, it has evolved into a comprehensive association involving education, socialwelfareandculturalpreservation.

3.1.2

Kim Lan Beo

Kim Lan Beo, one of the oldest temples in Singapore, was founded in 1830 by immigrants from Yongchun and Quanzhou and has been built for 183 years. The temple islocated onKimTianRoad in theTiongBahruarea, amid HDBbuildings.

Afteritsrestorationin1881,thetemplegrewinpopularityandassets,andaBoard of Trustees was formed, which chose to entrust the temple's management to the SingaporeHokkienHuayKuaninthe1960s

Intheearly1980s,duetothe landacquisitionofthelotonYanKitRoad,KimLan Beo, which was situated at the junction of Yan Kit Road and Narcis Street in the Tanjong Pagar area, was relocated to this site under the coordination of the SingaporeHokkienHuayKuanandtheGovernment.

TheGoldenOrchidTempleisdividedintothreemainhalls.Inadditiontothemain deity,GrandMasterChingShui(清水祖师),otherdeitiessuchasTuaPekKong(大 伯公)andGoddessofMercy(观世音菩萨)arealsoworshipped.

3.1.3

Goh Chor Tua Pek Kong

GohChorTuaPekKongTemple,oneofthehistoricallandmarksoftheBalestierarea, wasestablishedin1847byHokkienworkersemployedatasugarcaneestate. Renovated in 1920 and 1928, this temple was built in the southern Chinese architectural style and is dedicated to the Tua Pek Kong (大伯公) In 1937, the temple was taken over by the Singapore Hokkien Huay Kuan. Located next to the

temple is one of the last surviving permanent wayang (Chinese opera) stages in Singapore,builtin1906andstillbeingusedtoday.

3.1.4 Thian Hock Keng

ThianHockKeng,thetemplededicatedtotheHeavenlyEmpress,knownasMazzu (妈祖),wasbuiltin1840byHokkienimmigrantsandistheoldestTaoisttemplein Singapore. The temple is located on Telok Ayer Street in downtown Singapore, wherethecoastlineusedtobe.Uponitscompletion,ThianHockKengbecamethe supreme leadership organisation of the Hokkien Bang and the predecessor of the SingaporeHokkienHuayKuan.

In 1973, Thian Hock Keng was gazetted as a National Monument by the National HeritageBoardofSingapore.In1998,themostextensiverestorationofthetemple wascarriedout.

3.1.5 Leng San Teng

LengSanTeng,mainlydedicatedtotheSupremeLordoftheDarkHeaven(玄天上 帝), is located at Leng Kee Rd, close to today's Red Hill MRT Station. The temple, initiallyknownastheBeiJiGong(北极宫),wasbuiltin1876atthefootofLengKee

Suah (麟记山), a burial ground of the Hokkien community to manage the burial groundandprovidearestingareaforthepeoplewhocametothehilltopaytheir respects. In 1866, the Leng San Teng was handed over to the Singapore Hokkien HuayKuanbyitsoriginalowner,andin1976,SHHKboughtbackthetemple,which theGovernmenthadexpropriatedinalandrequisition,andretainsittothisday.

3.2 Research Questions

3.2.1 Perspective from History

What aretherolesandrelationshipsofclan associations in historicallysustaining thearchitecturalandculturalheritageoftemples?

Whatfactorsinfluencedtherelationshipsbetweenclanassociationsandtemples? What changes, socially and technologically, have impacted the role of clans in maintainingculturalheritage?

3.2.2 Perspective

from the Present Day

How do clan associations contribute to preserving architectural and cultural heritageinthepresentday?

What new challenges have arisen from these changes for clan associations in sustainingtheheritageoftemplesandrelatedstructures?

3.3

Research Methods

Inthispaper,themethodologyusedincludesamixtureofthefollowingapproaches:

3.3.1 Historical Archive Research

An analysis of the temple archives and manuscripts collected by the Singapore HokkienHuayKuanandMrLeeKipLin,donatedtotheNationalLibraryBoard,was conducted.Thearchivesincludegovernmentdocuments,legaldocuments,business contracts,financialmatters,etc.

3.3.2 Netnography

The netnography is applied to analyse interactions and behaviours related to templesaffiliatedbySHHKonFacebook,focusingonpostsfromthetemple'sofficial accountandlocalcommunitygroups.Thisapproachaimstounderstandpublicand

devoteeperceptionsoftemples,providinginsightsintocommunityengagementand culturalsignificance.

3.3.3

Site Observation and Interviews

Field research was conducted on the four temples to understand the temple's currentstatus,surroundings,spatiallayout,andarchitecturalcondition.Inaddition totalkingwithtemplestaffonthesites,aninterviewwasconductedwithJosephine Gan,thecurrentSecretaryGeneralofSingaporeHokkienHuayKuan.

Chapter 4: Historical Interactions between Clan Associations and Temples

4.1 Interactions Before Receivership

This section discusses the links established between the SingaporeHokkien Huay Kuan(SHHK)anditsassociateddialectcommunity,theHokkienBang(福建帮),and four temples before the official takeover as an attempt to explore the historical reasonsforthe"takeover"andtheconnectionsbetweenthem.

4.1.1 Singapore Hokkien Huay Kuan

BeforegettingtoknowaboutSingaporeHokkienHuayKuan(SHHK),oneneedsto haveabetterunderstandingoftheHokkienBang.

During the 17th and 19th centuries, the Straits Chinese from Fujian Province in Malacca used the Cheng Hoon Teng Temple (青云亭), established in 1646, as the leadingbodyoftheHokkienBang.In1828,thecentreofsupremepowerwasshifted toHengSanTing (恒山亭), acommunalgravefor Hokkienimmigrants, whichcan beregardedasthegermoftheSHHK.Afterthat,thecentreofpoweroftheHokkien Bang was shifted to the Thian Hock Keng, which was built in 1842 and was the forerunner of the SHHK. 1860 saw the formal establishment of the Singapore HokkienHuayKuan,whichcanberegardedasaproductoftheHokkien Bangand thedialectcommunityitrepresented.

Regarding organisational structure, Singapore Hokkien Huay Kuan marked a watershedin1916whenitshiftedfromafamily-baseddecision-makingmodeled by the Tan family to a collective decision-making mode with an ever-expanding massbase.Regardingfunctions,thepoliticalinfluenceofboththeHokkienBangand theSHHKgraduallyfadedawayduringSingapore'stransitionfromself-government

toindependence,withtheSHHKtransformingintoasocialorganisationfocusingon culturaldissemination,socialwelfareandeducationafterthenation'sfounding.

4.1.2

Kim Lan Beo

The early connections between the Kim Lan Beo and the Hokkien Bang were primarily mediated through the leaders and prominent members of the Hokkien Bang

Founded in 1830, Kim Lan Beo was initially not open to the public and had characteristics of a brotherhood and Chinese secret societies. Built by early membersoftheHokkienBanginSingapore,thesecretsocietynatureofthistemple wasevidencedbythe"brother"titlesusedinthe1839steleinscriptionsofKimLan Beo for the donors. The 74 individuals listed on the stele are likely the temple's foundersandalsopioneersofthesecretsociety.(Wang,2007)Inthe19thCentury, Chinese secret societies became a covert social force by establishing secretive networksandengaginginorganisedviolence.Variousdialectgroups,includingthe Hokkien Bang, gained coercive power by controlling and influencing these secret societies, thereby advancing community interests. (Yen, 2010) From this perspective,KimLanBeoandthesecretsocietycentredarounditcanalsobeseen asasmallergroupthatemergedfromtheHokkienBang.

In 1828, See Hoot Kee ( 薛佛记 ), one of the founders of the Hokkien Bang, constructedHengSanTing(恒山亭)asatempleforfuneralandancestralritesfor Hokkien immigrants in Singapore, which also served as the highest hierarchical leadership of the Hokkien Bang. In 1830, Yang Qinghai (杨清海), one of the three principalfoundersofKimLanBeo,contributed$80towardsconstructingthetemple (LinX.,1975)

ThesecretsocietyassociatedwithKimLanBeograduallydissolvedafterthedeath ofitsfoundingmembersintheiroldage.In1881,CheangHongLimJP,theleaderof theHokkienBang,personallyfundedandoversawtherenovationofKimLanBeo. By 1891, he formalised rules and regulations for the temple, providing for the appointmentofatempleattendantandanassistanttomanagethetemple'saffairs. Heprohibitedgambling,opiumsmokingandillegalactivitiesinthetemple.Bythis time,thenatureofthetemplechangedfromaprivateplaceclosedtothepublictoa publicspaceforworshipandcommunalfaith.(LinX.,1975)

4.1.3 Goh Chor Tua Pek Kong Temple

SimilartotheKimLanBeo,thehistoryoftheGohChorTuaPekKongTemplecanbe gleanedfromthestoneinscriptionsinthetemple. According to the stone inscription of 1847, it can be seen that the Hokkien immigrantcommunityoriginallyfoundedGohChorTuaPekKongTemple,andthe names of the donors recorded in the inscription included Cheang Teo (章潮), the fatheroftheleaderoftheHokkienGang,CheangHongLim(章芳林).(Y.Li,1973)In 1906,TanBooLiat(陈武烈),thecurrentleaderoftheHokkienBang,setupawayang (Chineseopera)stageinfrontofthetemple.Inaddition,OngChweeTow,aHokkien businessmanwithclosetiestotheSHHK,alsoguidedthetemple'srestoration.(Guo, 2023)

Fig.2StageDesignManuscript

(Source:https://zanlifestyle.wordpress.com/2016/05/07/storyofbalestierroad/)

4.1.4 Thian Hock Keng

ThianHockKengwasthetemplemostassociatedwiththeSingaporeHokkienHuay Kuanintheearlydays.Specifically,theyrepresentedthetwosidesofthesamecoin oftheHokkienBangassociationinthe18thand19thcenturies. Theoverlapofleadershipandspacereflectedthelinkbetweenclanassociationand thetemple.Intermsofspatialfunction,in1840,atthetimeoftheestablishmentof ThianHockKeng,thespacefortheSingaporeHokkienHuayKuanwassetasidein theplanningofthetempleconstruction.TheeasthallofThianHockKengwasset up as the venue for the SHHK's deliberations, with a plaque on the door's lintel saying “Hui Guan (clan Association)”. From 1840 to 1915, the early Hokkien overseas Chinese leaders were here to deal with their affairs and deliberations, includingfundraisingfordisasterreliefandevenregisteringmarriagesfortheirclan members.(L.Li&Zhang,2022)

Ontheotherside,duringtheinitialestablishmentperiod,themanagementofThian Hock Keng and the Singapore Hokkien Huay Kuan overlapped, with Thian Hock

Keng overseeing both temple and association affairs (Zhang, 2020) This also impliedthatatthetime,leadersoftheHokkienBangoftenhelddualroles,serving asboththePresidentoftheSingaporeHokkienHuayKuanandtheChiefDirectorof theThianHockKengtemple.(Yen,2010)

Theintegratedoperationofthetempleandclanassociationbegantoshiftin1915. FollowingthemodernisationoftheThianHockKengleadership,ThianHockKeng and the Singapore Hokkien Huay Kuan started managing religious and secular affairsindependentlyofeachother,leadingtoafunctionalseparationofthetwo.In 1937,the"SingaporeHokkienHuayKuan"replacedtheearliernameas"TanHock KengHokkienHuayKuan".AstheHokkienHuayKuanexpanded,thespacewithin thetempleareacouldnolongeraccommodatetheassemblyofitsmembers.In1954, thestageacrosstheroad fromThianHockKengwasdemolished andreplaced by theHokkienHuayKuanBuilding,markingaformalspatialseparationbetweenthe temple and the association. 2014, the Singapore Hokkien Huay Kuan moved from TelokAyerStreet,endingitsacross-the-streetspatialrelationshipwithThianHock Keng.(Guo,2020)

4.1.5 Leng San Teng Temple

Apart from the previously mentioned Heng San Ting, the Hokkien Bang also developedLengKeeSuah(麟记山)asacemeteryhill.LengSanTingwasinitiallya templeatthefootofHengSanTingforcemeterymanagementandasarestingarea forthepublicwhenhikingupforrituals.(Lu,2018)

In1866and1879,LengSanTing Templefellintodisrepair.Thetempleattendant and prime ministers renovated the temple, with the Hokkien Bang and related business organisations contributing, such as the Wan Seng Company founded by CheangHongLim.(Zhuang,1988)

Overall, before taking over the temples, the relationship between Singapore HokkienHuayKuanandThianHockKengwasexceptionallyclose,reflected inthe consistencyoftheirleadershipandtheirspatialrelationship.ThianHockKengitself served dual functions: it was a site for religious worship and deities, and it also handled the secular duties of the Hokkien Huay Kuan, providing corresponding spaceswithinthetempleground.Beforetheirseparation,theauthorityrepresented bythetemplewasinitiallymoresignificantthanthesecularpowerrepresentedby theassociation.

4.2 Interactions at and after Receivership

ThissectiondiscussestherelationshipbetweenthefourtemplesandtheSingapore HokkienHuayKuanduringandafterthetakeoverprocess.Itdelvesintotheaspects of "takeover", "relocation", and "management," with a particular focus on the relocationandrepurchaseofKimLanBeoandLengSanTingTemple,touncoverthe role Singapore Hokkien Huay Kuan played in operating and maintaining these templeswithinthecontextofSingapore'slandacquisitionmovementinthe1960s1980s.

4.2.1

Receivership

Fromachronologicalperspective,thetakeoverofthefourtemplesoccurredovera wide span. Leng San Teng Temple was handed over to Singapore Hokkien Huay Kuanasearlyasthelate19thCentury,andaccordingtolandleaserecords,theGoh Chor TuaPekKongTemple wasentrusted to SHHK in 1937for welfare purposes. Kim Lan Beo was handed over during the 1960s. Thian Hock Keng, however, was not officially taken over by the Singapore Hokkien Huay Kuan until 2007, when a managementcommitteewasestablished.

Take Leng San Teng Temple as an example. In 1884, Gan Eng Leng (颜应麟), the owner of Leng Kee Suah managed by Leng San Teng Temple, signed a deed that allocated a small part of Leng Kee Suah for the Gan family's burial site, and the remaininglargersection,includingLengSanTengTemple,washandedovertoTan KimChing(陈金钟)andothertwodirectorsoftheSHHKatthetime,ascredentials fortheoperationofthecemeterygrounds.Afterthethreedirectorshadpassedaway, thetemplewasmanagedbySHHK (SingaporeHokkienHuayKuan,2015)

RegardingtheKimLanBeo,asthepopularityandfinancialbaseofthetemplegrew, iteventuallyledtotheformationofaTrustCommittee, whichwasresponsiblefor managing all temple activities, including the ancestral tablets and administrative management. (‘Fujian huiguan shuxia Jinlan miao chongjian luocheng [Under the Hokkien Association: Completion of the Reconstruction of Kim Lan Beo]’, 1986) AccordingtoJosephineGan,thecurrentSecretary-GeneraloftheSHHK,thereasons for the takeover included financial issues within the temple, which made it challenging to sustain its operations, and language barriers in dealings with governmentdepartmentsatatimewhenEnglishwasnotyetprevalentamongthe Chinesecommunityin Singapore. Intheearly1960s,regardingthe abovereasons andKimLanBeowasfoundedbyHokkienancestors,theTrustCommitteedecided to transfer management to the Singapore Hokkien Huay Kuan. After several deliberations,SHHKtookoverthetemple'smanagementin1964.

4.2.2

Relocation and Land Repurchase

BothLengSanTengTempleandKimLanBeowereaffectedtosomeextentduring thecompulsoryacquisitionoflandinSingapore.

On 18 September 1923, Leng Kee Suah was officially closed. About 40 years later (1966),theSingaporeGovernmentannouncedtheexpropriationofLengKeeSuah and redeveloped about60 acres of the mound site into a residentialarea, today's HDBarealocatedinRedHill.

According to the digital manuscripts in the archives donated by SHHK to the National Library Board (NLB), the Singapore Hokkien Huay Kuan and its commissioned law firm WEE SWEE TEOW & CO. had been negotiating with the government departments (including the High Court in Singapore, Housing & DevelopmentBoard,etc.)onmattersrelatedtotheacquisitionofthelandat Leng KeeSuahfrom1968to1976.Theconsultationincludedthecalculationofinterest on the compensation for land acquisition, a request for SHHK to propose dealing withthecompensation,andrelevantlegaldocuments.

Fig.3ManuscriptsonCompensationforLandAcquisition (Source:(SingaporeHokkienHuayKuan,1965))

From February 1973 onwards, the Singapore Hokkien Huay Kuan commissioned WeeSweeTeow&Co.tocommunicatewithHDBtobuybackLengSanTengTemple.

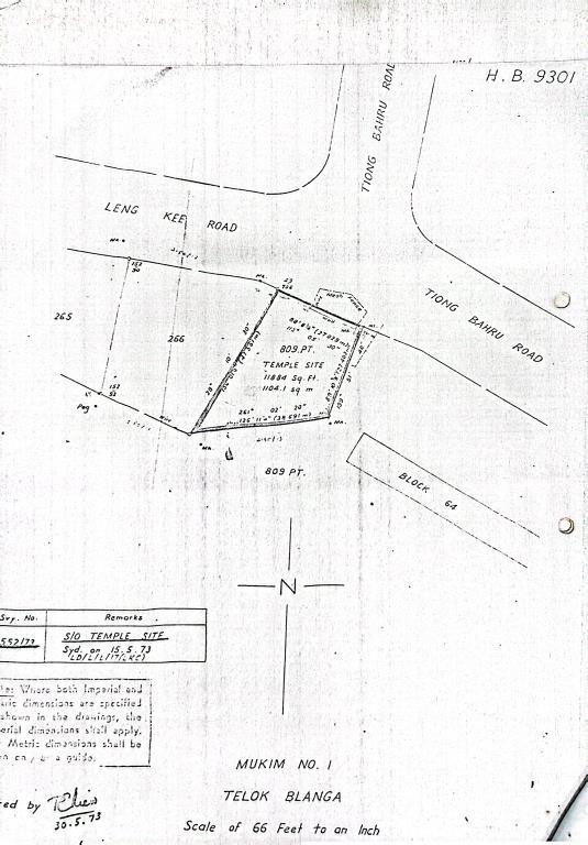
In July 1973, HDB agreed to the request of SHHK in exchange for cancelling the previousappealforcompensation.Atthesametime,HDBdemandedthatthetemple berenovatedeverythreeyears Eventually,in1976,HDBformallysold11,884sqft oflandatLengSanTengTemple(includingthecompound)toSHHKona99-year leaseat60centspersqft.(SingaporeHokkienHuayKuan,1965)

Fig.4ManuscriptsonRepurchasingandArchitecturalDrawings

(Source:(SingaporeHokkienHuayKuan,1965))

MsGanexplainedthattheSHHK'srepurchaseofthetemplewascommissionedby the public and the Government. Hokkien immigrants and their descendants expressedsignificantdissatisfactionwiththeGovernment'sdecisiontorequisition and not preserve the entire area of Leng Kee Suah and Leng San Teng Temple. In response to public pressure, the Government approached SHHK, hoping it would take on the responsibility of repurchasing and re-managing the temple. In this

process, the Government might have provided covert funding but did not resolve the issue directly, based on considerations of maintaining racial harmony and balance

ThecaseofKimLanBeowassomewhatdifferentfromtheLengSanTengTemple. The temple was forced to relocate and rebuild in the land acquisition process

Accordingtonewsreportsfrom1986,whenKimLanBeowasrebuilt,theoriginal templewaslocatedonNarriesStreet.DuetotheHDBrequisitionofnearbyYanKit Road,thetemple'slandwasalsowithinthescopeofacquisition.Afternegotiating withtheHDB,SHHKagreedtotheirproposalthattheoriginalsiteofKimLanBeo was exchanged with a plot on Kim Tian Road, where a Tua Pek Kong temple, previously owned by the Hokkien Huay Kuan, was renovated to become the new Kim Lan Beo. (‘Fujian huiguan shuxia Jinlan miao chongjian luocheng [Under the Hokkien Association: Completion of the Reconstruction of Kim Lan Beo]’, 1986)

As evidenced in the archives, relocation and rebuilding are not simple; they are regulated and affected by many aspects simultaneously. According to the digital manuscripts collected by SHHK in 1981, after the acquisition of the land on the original site, the HDB requested SHHK to complete the construction of the new temple within 24 months, from 1 May 1981 onwards. There was a disagreement between SHHK and HDB over the construction deadline, but HDB insisted on this timeandurgedSHHKtodeliverthearchitecturaldrawingsurgentlyforapproval. In November of that year, the Land Dealings Approval Unit requested SHHK to provideastatutorydeclarationundertheResidentialPropertyAct,1976,statingto theeffectthat"thereligiousbeliefsprofessedbythefollowersoftheKim LanBeo Templearenotcontrarytoanygenerallawrelatingtopublicorder,publichealthor morality".

Initially, SHHK expressed confusion and stated that they could not enforce the request becausetheydid not knowpreciselytheKimLan Beofollowers'religious beliefs Moreover, if their religious beliefs had been contrary to any general law relatingtopublicorderandmorality,theGovernmentwouldhaveclosedthetemple years ago. It cannot see the details of the following communications, but the only thingvisibleisthat,inFebruary1982,SHHKsubmittedthestatutorydeclaration. InMarch1982,HDBgrantedthelandlicenceandpressedfortherapidconstruction ofKimLanBeo InApril1982,SHHKaskedagainforanextensionoftheconstruction period.(SingaporeHokkienHuayKuan,1972)Accordingtonewsreports,thenew templewaseventuallyrebuiltinearly1984andcompletedwithinayear,withthe SHHKspendingmorethanS$600,000.In1986, thetemplewasrebuiltentirelyand openedtothepublic (‘Fujian huiguan shuxia Jinlan miao chongjian luocheng [Under the Hokkien Association: Completion of the Reconstruction of Kim Lan Beo]’, 1986)

4.2.3

Management

The management of the temples after the SHHK took over can be glimpsed in the archivesabouttheKimLanBeo.Intheearlydaysofthetakeover,theadministrators oftheGoldenOrchidTempleweregenerallytheabbotandnuns.

ThroughthebiographicalinformationofMasterSuiBeng(虚明),itcanbeseenthat in 1961, hestarted beingthe abbotofKimLanBeo. Accordingtothemanuscripts donated by SHHK, from January 1971 to December 1979, SHHK signed contracts everytwoyearswithhimtosubcontractthetemple'sreligiousservicestohim.After 1975,thesubcontractingshiftedfromMasterSuiBengalonetoMasterSuiBengand a vegetarian nun, Kuah Kai Lian (柯开莲), who travelled abroad from Quanzhou, China, to Singapore to propagate the Dharma. The contracts stipulated the

managementresponsibilities,whichincludedconductingtempleritualsandselling religious offerings, such as incense and candles. Additionally, the managers were requiredtomaintainandcareforallthetemple'simmovableproperties,payforall utilitiessuchaswater,electricity,andgas,anddonateS$300monthlyto SHHKfor education funding. Starting in 1973, the required donation amount increased to S$320. (Singapore Hokkien Huay Kuan, 1963) After Master Sui Beng left Kim Lan Beo,KuahKaiLiancontinuedtomanagethetemple.(Show,2020)

(Source:

Fig.5ContractbetweenSingaporeHokkienHuayKuanandTempleManagers
(SingaporeHokkienHuayKuan,1963))

Chapter 5: Contemporary Interactions between Clan Associations and Temples

ThissectionwillattempttodiscusstheinteractionbetweentheSingaporeHokkien HuayKuananditsassociatedtemplesinthepresent,mainlydividedintodailyand non-dailymanagement.

5.1 Daily Management

AccordingtotheinterviewsbyJosephineGan,thefourtemplesaremanagedbythe Cultural Committee and Property Committee of Singapore Hokkien Huay Kuan, whichalsoinvolvestheFinanceCommittee,requiringcross-departmentaloperation andcollaboration.

Regarding the temple management model, within the four temples affiliated with theSingaporeHokkienHuayKuan, apartfrom ThianHockKeng, whichisdirectly managed,SHHKhascontracted outthemanagement and operationalrightsofthe otherthreetemples.

These three temples enjoy a relatively high degree of autonomy in daily management, and they do not need approval from the SSHK to organise religious rituals or other ceremonies. When issues arise, they may take the initiative to contactSHHK.

5.1.1 Manager

According to the interview with Ms Gan, except for Thian Hock Keng, which is managedbyacommitteesetupbytheSingaporeHokkienHuayKuanin2007,the otherthreetemplesaremanagedmainlybyindividualsoronafamilybasis.

Kim Lan Beo has seen management changes many times In addition to the abbot andthevegetariannunmentionedabove,therewerecasesinthelastCenturywhen

the managers could not continue the operation and wished to return the managementrightstoSHHK.TheSHHKonceappointedthetempleattendantfrom Thian Hock Keng, an older woman, to take over the managementofKim Lan Beo.

Uponherage,herchildrencontinuedtomanagethetemple.

ThecurrentmanageroftheLengSanTengTempleisanuncle(anoldermaninthe contextofSingapore)whowasastaffmemberofthetemplewhenhewasyounger.

AsforGohChor TuaPekKongTemple, thetemple was managed byafamily until March this year The family's ancestors were one of the initiators of the temple's founding, and the management has been passed down from generation to generation.

Whetherwithinfamiliesoronanindividuallevel,bothKimLanBeoandGohChor TuaPekKongTempleareconfrontingdifficultyinlackingsuccessors,whichisthe greatestchallengetheyhavetoface.

On 31 March 2024, Goh Chor Tua Pek Kong Temple was placed under the direct management of the Singapore Hokkien Huay Kuan. According to a report in the LianheZaobao,astheleaseofthetemplewasabouttoexpire,thecouncilmembers andsecretariatofSHHKhavebeendiscussingthefuturedevelopmentplanwiththe temple'smanagementteamsincelastyear.(Zhang,2024)

Sincethetemplewasfacingtheproblemofthemanagementteamgettingoldand lacking successors, SHHK proposed to take over the temple to pass on better and promotethecultureandhistory.Afterseveralroundsofnegotiation,attheendof January2024,thetemplemanagementteamagreedtohandoverthemanagement and operation ofthetemple to SHHK. (Zhang,2024) WiththeconfirmationbyMs Gan,thetempleisnowmanagedbythestaffofSHHK,withoutexternalrecruitment.

Unliketheabove,theManagementCommitteeofThianHockKengcomprisessome SHHKmembers,andthereisacertaindegreeofgeographicalconnectionratherthan kinship among the members. SHHK regularly arranges for new members to volunteer at Thian Hock Keng. Not only do they have an interest and passion for templeculture,buttheyoungermembersmustvolunteeratthetempleforatleast ten years before being appointed as part of the Management Committee. (Chen, 2022)

5.1.2 Financing

Onthefinancialside,MsGannotedthat everyyear, SHHK makes abudget forthe temple management expenses, which would be reported and discussed in the AnnualGeneralMeeting(AGM)

Thefundstosupportthetemplescamefromthedonationsoftheclan'seldersorthe income from property purchases, which the Property Committee of SHHK coordinated.DuringTanLarkSye(陈六使)'stermasthePresidentofSHHK(19521972), the source of economic income of the clan association shifted from being based on members' donations to being based on the income from the properties acquiredbySHHK,includinglandinYunnanGarden,MandaiEstateandSembawang. Moreover, the construction of housing in Yunnan Garden has generated a certain amountofincome. Subsequently,duringthepresidencyofWeeChoYaw (黄祖耀) (1972-2010),theprofit-generatingventuressawsignificantgrowth,andtheincome fromthesepropertiesbecametheprimarysourceoffundingfortheeducationaland charitableendeavoursofSHHK (Ren&Chen,2002)

Ontheotherhand,themanagersofthetemplesarerequiredtopayanannualrent toSHHKandmanagetheremainingfundsontheirown.However,theseremaining

funds can not support them in conducting significant renovations or repairs themselves.

AccordingtoMsGan'sinterview,theincomeandexpenditureofThianHockKeng, under thedirect management of the SHHK, ishighly transparent andclear, which will be reflected in the annual financial report. In contrast, the income and expenditure of the other three temples are relatively unclear, e.g. it is not easy to knowthedetailsoftheamountofincensemoneyreceived.

5.2 Non-Daily Management

The term "non-daily management" in the context of temple operations generally refers to tasks and responsibilities that are not part of the routine, everyday activities needed to keep the temple functioning, including aspects of major renovation or construction projects overseeing, religious festivals, cultural events organising,etc.

5.2.1 Renovation

Since its construction, Thian Hock Keng has undergone continuous renovations, includingasignificantmodernisationprojectin1906ledbyTanBooLiat,theleader oftheHokkienBang.Inthisrenovation,ThianHockKenghasintroducedWestern andSouthernarchitecturalelementstomakethetemplemorediverse.(W.Huang, 2017)

In 1971, The Preservation of Monuments Board (PMB) was established following the enactment of the Preservation of Monuments Act. In 1975, according to the archives in Papers, Minutes Of Meeting, and Correspondence Relating to Singapore Preservation of Monuments Board, 1969-1976 collected by Lee Kip Lin (李急麟), during the meeting of the Technical Committee in PMB, the committee members

highlighted issues related to the architectural preservation of Thian Hock Keng, noting problems such as the deterioration of the building situation, which is aggravatedbystreetcongestionandheavytraffic.Inaddition,theydefinedthescope ofnecessaryrepairs,whichincludedsurroundingbuildings.Themembersadvised theSingaporeHokkienHuayKuantoundertakerenovationwork,butitwasinitially notcarriedoutduetoalackoffinanceandtechnicalexpertiseinSHHK.Afterseveral negotiations,thePMBagreedtoprovidetechnicaladvice,and SHHKcommittedto providingS$300,000fortherestorationefforts.(K.L.Lee,1969)

(Source:(K.L.Lee,1969))

AccordingtothearchivesprovidedbyPMBtothe NationalArchivesofSingapore, thereareseveral1976measureddrawingsofThianHockKeng,whichincludethe temple'splansandsections,etc.,whichcanbeusedtocorroboraterenovationworks duringthisperiod.Subsequently,ThianHockKengunderwentmajorarchitectural renovations in 1981, 1998, and 2011, with costs ranging from S$550,000 to

Fig.6DigitalManuscriptofMinutesofMeeting

S$3,800,000. The most extensive scale restoration took place from 1998 to 2000.

Duringthisperiod, theThianHockKengRestorationCommittee invited ateamof experts from China to conduct on-site surveys. The team provided restoration guidelines, focusing on architectural style, materials, and structural layout, with a philosophy of long-term maintenance and preserving the original appearance as muchaspossible.Inrecentyears,ThianHockKenghasalsoreceivedseveralgrants from the Government to carry out renovations. Meanwhile, Thian Hock Keng is trying to use modern technology for architectural conservation, including hiring VizzioTechnologies,atechnologycompany,toconductaLidarscanningtocreatea BuildingInformationModel(BIM).(W.Huang,2017)

Regardingthemaintenanceandrepairoftheotherthreetemples,MsGansaidthat thetemplemanagershaveregularlymaintainedthetemplesbutnotonalargescale.

AsfortheKimLanBeo,beforethetemple'srelocation,accordingtotherecordsof Historical Monuments in Selat,thetemplewaslastrenovatedon7August1971,led by the Singapore Hokkien Huay Kuan. (Lin X., 1975) Since its inauguration in the mid-1980s.,thetemplehasnotbeensubstantiallyrenovatedforover40years.(Lin W.,2024)

In2022,SHHKappointedanengineertoconductabuildinginspectionofthetemple, which revealed that the ceiling was old and leaking, consistent with the on-site observationandtheanswersfromMsGanandthetemplemanagers.Followingthe decisionoftheSHHKtofundacomprehensiverestorationandrenovation,KimLan BeowastemporarilyclosedforoneyearfromMarchthisyearforrestorationand refurbishmentworks.(LinW.,2024)MsGanaddedthatthetropicalclimatehasalso caused damage to the timber material inside the temple, which has yet to be

repaired. Moreover, the restoration required large sums of funds, and it was fortunatethatthecouncilofSHHKweresupportive.

Fig.7TheLeakingWalloftheKimLanBeo (PhotobyAuthor)
Fig.8Architect’sImpressionoftheKimLanBeoRenovation (PhotobyAuthor)

In 1990, the Singapore Hokkien Huay Kuan had planned to develop the Goh Chor TuaPekKongTempleinconjunctionwiththeTienTakKung(天德宫)attheback intoanotherlargertemple,whichwouldalsobeavailableforthepublictoplacethe ancestraltablets (Qu,1990)However,thisplanhasnotbeenimplemented,andTien TakKunghasbeenrelocatedtotheTampinesArea.Duringthisperiod,SHHKalso developedthelotbehindthetempleintotheScenicHeightsapartmentcomplex,and the proceeds from the sale were used for charitable endeavours. (Singapore HokkienHuayKuan,2014)

Talkingabouttheplansthatwerenotimplementedthen,MsGanrecalledthatSHHK wantedtorenovatetheneighbouringtemplewhilebuildingthe apartments,while the temple manager also wanted to renovate it. However, disagreements arose between SHHK and temple managersovertheamount ofmoneytobeinvested in the project and the proportion of funding to be spent among the various stakeholders. SHHK disagreed with the renovation plans proposed by the temple managersbecauseitconsideredtheirplanstoosuperficialanddidnotaddressthe coreissues

5.2.2

Cultural Promotion and Heritage Transmission

In addition to traditional promotional methods (including posters and printed brochures),inrecentyears,ThianHockKenghasappliedfortheSingaporeTourism Board's (STB) Experience Step Up Fund to create a digital application for virtual tours. In 2022, the application has been launched, through which the public can learnaboutthetempledetailsoftheentrancemonument,architecturalfeaturesand soon.Theintroductionofmoderntechnologywouldalsohelpexpandtheinfluence ofThianHockKengtotheyoungergenerationofSingaporeans,whowillbeableto learnmoreaboutthelocalChinesehistory.

Throughfield visitsand onlineresearch, itisevidentthattheotherthree temples managedbySHHKdonotsystematicallypromotetempleculture.Offlinepublicity was mainly based on posters of folk knowledge and temple activities without a broaderscopeofpromotion.

At the same time, there is some interaction between the temples managed by the SingaporeHokkienHuayKuan,whichexistsmainlybetweentheThianHockKeng, KimLanBeo,andothertemplesbuiltbyHokkienimmigrants. Accordingtolocalscholars,sincetheestablishmentofThianHockKeng,ithasbeen the custom of the Chingay Parade (妆艺大游行) to welcome the deity every three years.Onthedayoftheparade,theprocessionstartedfromAmoyStreetandthen went to Heng San Ting, Hong San See (凤山寺), and Kim Lan Beo to welcome the deitiesofthetemplesandtostayatThianHockKengforamonthof"guestingand seeing the operas". (Du, 2016) In the early 2000s, due to renovation works, the deities (including Tua Pek Kong) from Heng San Ting, which were temporarily housedinThianHockKeng,weremovedtoKimLanBeo.(G.Lin,2023)According toMsGan,KimLanBeocurrentlyalsohoststhestatueofTuaPekKongfromSiKar Teng (四脚亭), another temple managing cemeteries for Hokkien immigrants. In 2017, according to thepost on the official Facebook account of Tianfu Palace, the Supreme Lord of the Dark Heaven (玄天上帝), the main deity of Leng San Teng Temple,madea"guest"appearancetoThianHockKeng.In2022,tocoincidewith theSingaporeHokkienFestivalhostedbySHHK,theTuaPekKongfromHengSan TinghostedatKimLanBeoalsotemporarilymovedtostayatThianHockKeng.

Thereseemstobesomepotentialforculturalpromotionandheritageconservation through interactions between temples, but it has not been deeply explored and confirmedatthispoint.

Chapter 6: Challenges and Development

6.1 Challenges

6.1.1

Lack of Talent

Talking about the current challenges and problems encountered in temple management, Ms Gan believes that Singapore Hokkien Huay Kuan has not experienced any severe crisis in this regard for the time being. However, the management,maintenance,andpromotionoftempleswereverymuchdependent onthecompetenceofthemanagers.

Inaddition,sheconsideredthat,inthisarea,Singapore'seducationalinstitutionsat alllevelshavenotyetdevelopedspecificcoursestocultivatetalentsforTaoistand folk religion temples, including standardised temple management and ritual conducting.Currently,suchcoursesareabsentfromtheacademicofferings.

AlocalcaseworthlearningfromappearsinBuddhism. In2015,Singapore'sKong Meng San Phor Kark See Monastery (光明山普觉禅寺) established the Buddhist College of Singapore (新加坡佛学院), the first higher educational institution for Buddhist studies in the country. The college was founded to cultivate bilingual professionalsproficientinbothChineseandEnglishwhoareequippedtoengagein Dharmapropagationandmanagementandsupportthesustainabledevelopmentof ChineseBuddhism.(AboutBCS|BuddhistCollegeSingapore,n.d.)

MsGanalsomentionedthattheGovernmentdoesnothaveaunifiedmanagement committee or organisation to regulate temples in Singapore, which also hindered thedevelopmentoftemplestoacertainextent.

6.1.2

Community Identity and Trust Building

Theotherpartofthehiddencrisisisseenbyonlineobservation.

The research on the online community provides a glimpse of the potential challenges faced by Singapore Hokkien Huay Kuan, i.e. whether it can gain the people'strustafterthetransferoftheoperatingrights

On13March2024,thecurrentmanagementoftheGohChorTuaPekKongTemple announced onFacebookthat themanagementand operation ofthetemple would behandedovertoSHHKon31March2024,andtheirFacebookaccountwouldnot beupdated afterthatdate. Theaccount's homepagehasabout2,400fansand has operatedsinceDecember2016.Commentsontheaccount'spostsaredominatedby emojisindicating"prayers"andenquiriesaboutopeninghours. After the account was not updated, in early April 2024, SHHK created an account withthesamenameandcurrentlyhas215followers.

Fig.9OfficialAccountofGohChorTuaPekKongTempleonFacebook(OldandNew) (ScreenshotbyAuthor)

Thepostonthehandoverofoperatingrights,publishedon13March,received73 likes, with most expressing emotions of surprise and regret in emoji. Moreover, there were 22 comments under the post, and the discussion was in the following areas.Firstly,mostuserswhocommenteddidnotknowthatthetemplewasowned by SHHK and would like to know the detailed reasons for such a change. Some believedthatthetakeoverbySHHKwouldmakethetemplemore"majestic".Also, theinteriorspaceofthetemplehasbeendarkenedbyincensefiresandneedstobe

improved by the association. However, some were negative towards the direct managementbySHHKandwouldliketoseethetempleandwayangstageremainas "vintage"asitisnow.

In addition, There wasalso a discussion in thecomments addressing government regulationandfinancingissues Auserwhoclaimedtobeacouncilmemberofthe temple's previous Zhongyuan Festival events revealed that the Government's regulation of temple activities was stringent. For example, the tentage previously used forshelteringfromtherainwasrequired toberemoved. Ontheotherhand, temporaryfacilitiessuchastentsneededfortheceremonieshavetobepurchased fromcompaniesappointedbySHHK,andthehighpricinghashinderedthehosting ofritualsandfurtherinfluencedthecontinuedoperationofthepreviousmanagers. Records of the tentage mentioned above can be found in old photographs and previouspostsfromthetemple'saccount.Therewasoriginallyatentageinfrontof thetemple,whichbetterenabledthefaithfultoworshipintimesofheatandrain.

According to a user's comment, however, the Government considered this temporaryinstallationafirehazard,andadditionalinspectionsandexpenseswould berequiredifapproved Eventually,in2022,thetemplepostedinformingthatthis tentagewasbeingremoved.

Fig.10CommentsunderthePostoftheOldOfficialAccount

(Source:https://www.facebook.com/profile.php?id=100064367362498&locale=zh_CN)

Throughthe surveyof Singapore localgroupssuchas "ShiLiZhiWai"(十里之外) on Facebook, it can be seen that the residents in the neighbourhood had intense feelingsfortheGohChorTuaPekKongTemple.Someonerecalledthattheyusedto cometothetempletoseetheoperawhentheywereyoung,andtherewerestalls sellingfoodanddrinksbythewayangstage.Inaddition,thestallsattheentranceof thetemplesellingqualitydurianswerealsoimpressive.

(Source:(‘WhereDuriansandChineseOperaComeTogether’,2021))

Ontheotherhand,theneighbourhoodresidentswhoworshipTuaPekKongintheir homes brought back incense from this temple, creating an invisible network of beliefs.ThisevidenceshowedthatGohChorTuaPekKongTemplenotonlyplayed the role of a centre of faith but was also an essential node of the community's culturalandhistoricalmemoryintheBalestierarea

Fig.11WayangStageandDurianStallsinOldDays

Gainingtrustwithinthecommunitybuiltbythetemple,bothinreallifeandonline, posesachallengeforSHHK,especiallyaftertakingoverthecompletemanagement. Whetherthisshiftwillaffecttheexistingsenseofcommunityidentityandcohesion remainstobeseen.

Similarly,KimLanBeoisalsobuildingacommunityculture Accordingtothetemple staff, as an urban faith space amid the HDB area, most worshippers are neighbourhoodresidentsandthosewhoplaceancestraltabletsinthetemple.

6.2 Planning for Future Development

Discussingthepossibilityofreclaimingmanagementrightsoftheothertwotemples, MsGanstatedthattheSingapore HokkienHuayKuanisnotcurrentlyconsidering suchactionsunlessthetemplesareinneedorfacesignificantoperationalchallenges. Taking over a temple is not a trivial matter, and for such an important decision, SHHK needstoplan gradually, startingwiththecurrenttakeoverof theGohChor TuaPekKongTempleandthendecidingbasedonthesituation.

Regarding building maintenance and renovation, the manager from SHHK stated thatSHHKplanstocarryoutalarge-scalerenovationoftheGohChorTuaPekKong Templeintwotothreeyearsduetotheageingofthebuilding.Therenovationworks willincludereinforcingthewayangstageandanti-insectandanti-moth-eatenworks for the temple and the stage, etc. (Zhang, 2024). Ms Gan added that the future renovation ofGoh Chor TuaPekKongTemple wasstillunderplanning, and there wasstillaneedtocommunicatewithgovernmentdepartmentssuchasURAabout whatcouldbedone.TheFacebookonlinecommunities'previousconcernsthatthe temple'sexteriorwouldundergoa"newlook"couldbeputtorest.MsGansaidthat apart from essential building maintenance, SHHK would not consider making

significant changestothebuildingitselfanddid not wantto"refresh"but instead wantedtopreservesometracesofthehistoryasmuchaspossible.

Regarding culture promotion and heritage conservation, the manager from SHHK stated that theculturaland historicaltransmission ofthe GohChorTuaPekKong TemplewasasignificantfocusofSHHKafteritofficiallytookoverthetemple.The newtemplemanagerswouldalsopreservethetraditionofdevoteesprayingtoHu Yeh(TigerDeity, 虎爷)throughspiritmediums.(Zhang,2024)Asfortheauthor's previouspointaboutthepossibilityoflinkingtempleswhereinteractionexistedas anopportunityforculturepromotion,MsGanarguedthateachtemplehaditsown roleinhistoryandthatculturalpromotionwillbebasedontheirstatusquo.

Chapter 7: Discussion

7.1 Review of the Management Mode

Vincent Goossaert, in Resident Specialists and Temple Managers in Late Imperial China, divided temple managersintotwocategories: resident clerics (Buddhistor Taoist), called "zhuchi (住持)", and thosewho arenot clerics, called "miaozhu(庙 祝)". In temples controlled by lay communities, both Zhuchi and Miaozhu had an employment relationship with the temple's leadership, adhering closely to the administrativeandoperationalguidelinestheysetandplayingacrucialroleinthe temple'sphysicalupkeepandday-to-daymanagement (Goossaert,2006)

This descriptionis consistent with what we see in the history of the four temples managedbySHHK.BothbeforeandaftertheSHHKtakeover,Maiozhumanagedthe fourtemples However,therealityisevenmorecomplicated:bothThianHockKeng andKimLanBeo,astemplesoffolkbelief,hadperiodswhenmonksservedasZhuchi. Intermsofpersonnelselection,manymanagerpositionswerehereditary,asseen in the four temples. On the functional and regulatory side, Vincent Goossaert observedthatthetemplemanagerswereoftencalledupontoplayanactiverolein raisingfundsforrestoration,expansionorfullreconstruction,andthecontrolofthe temple was shared with lay leaders. On the other hand, the temple leaders maintained strict oversight, delegating tasks to managers while ensuring checks wereinplacetoprotecttheirauthority.(Goossaert,2006)

Thesituationofthefourtemplesisdifferentfromthatdescribedabove.Thetemple managersarenotinvolvedinthemajorrenovationworks,whicharesolelyunder theresponsibilityoftheclanassociation.Ontheotherhand,apartfromThianHock Keng, which is most closely associated with SHHK, the clan association does not

seemtohavesetupspecificandregularsupervisoryproceduresfortheotherthree temples. In a sense, the temples themselves have a relatively high degree of autonomy

Furthermore, Vincent Goossaert talked about the financial entitlement of temple managers, which was not standardised Most of the temple managers ' daily life, especially the temple clerics, was "taken up by working for a living". (Goossaert, 2006) Ms Gan also mentioned in the interview that temple management and operationarewaysforMiaozhutomaintaintheirlivelihoodandincome.Atthesame time, asupplyanddemand relationship wasaccomplished betweenthemanagers and the worshipers on their own, without further accountability to other stakeholdersrepresentedbytheclanassociation.

7.2 Transformation to Modernisation

However, over time, thetraditionalmodeoftemple managementhas, toacertain extent,notbeenabletocaterforthesurvivalanddevelopmentoftemples.Boththe Singapore Hokkien Huay Kuan and its affiliated temples have undergone or are undergoing a modernisation and transformation of their organisational and managementmode. AsdemonstratedbytheSingaporeHokkienHuayKuan'sshift in1983fromanExecutiveandSupervisoryCommitteesystemtoaCouncilsystem, decision-makingauthoritytransitionedfromindividualstoacollectivebody.(Ren& Chen, 2002) Similarly, the most significant transformation in traditional temple management has been the shift from management by individuals or families to management by collective organisations, reflecting a move from tradition to modernisation.

Despite the internal factors such as financial situation and operational status, the transformationhasalsobeeninfluencedbysocialfactorsandupdatedgovernment

decisions, including controlling land resources and regulating religious communities.

AsmentionedinChapter4,TheSocietiesOrdinanceof1889,enactedbytheBritish colonial Government, and The Residential Property Act of 1976, published by the Singapore Government, have imposed more restrictions and requirements on the religiousactivitiesoftemples,influencingthetransformationofthenatureofKim Lan Beo and Goh Chor Tua Pek Kong Temple. Furthermore, The Land Acquisition Act(LAA) of 1966 affected therelocationand redevelopmentofthe KimLan Beo, whichdirectlyledtothesurvivalcrisisofLengSanTengTemple.Ontheotherhand, withtheincreasedmaintenancecostandtheneedformodernisation,templesneed more funds to sustain their operations. These mean that in a fast-developing and more orderly social environment, temple managers must be able to cope with external changes and crises. In other words, temple management requires more humanresources.

Furthermore,thetraditionalmodeoftemplemanagement,especiallythe previous economicmodeofoperation,hasalsoledtomanagersviewingtemplesasameans oflivelihood,ignoringtheissueofarchitecturalconservationandsustainability,and not consciously setting aside a fixed amount for the maintenance of the building, limitedbytheirpersonalperceptions.InhandingoverthemanagementofGohChor Tua Pek Kong Temple, Ms Gan noted that the most intuitive change was the transparencyofthefunds,whichisconducivetobettercoordinationofthetemple's operation. At the same time, she believed that the collective organisations represented by clan associations may be a better option for the management of temples. Asopposed toindividuals with alifespan, clan associations, which were inorganicandcomprisedofgenerations,wouldalwayssupportthetemples.

Intriguingly, although the nature of the matter is not the same, the change in personnel can also be seen as an unconscious practice of anticlericalism, i.e., the choiceofrejectingclericalintermediariesinreligiouslife,althoughperhapsfroma differentstartingpoint.(Goossaert,2006)

Although Ms Gan stated that it is business as usual except for the change in management, has something invisible changed? It is difficult to tell whether the modernisedmanagementwilldissipatetheautonomyofthetempletosomeextent andpossiblygoagainsttheexpectationsofthetemple's"vintage”character.Andit remainstobeseenwheretherelationshipconstructedbetweentheformertemple managersandtheworshipperswillgo.

7.3 Efficiency and Multifunctionality in Space

In the interview with Ms Gan, she discussed the balance between efficiency and preserving grassroots elements in Singapore, a highly organised and efficiencydrivencountrywithscarcelandresources.Thiscautiousapproachisreflectednot only in the decision-making processes of the Government but also in clan associations, which prioritise the multifunctional use of spaces to ensure sustainability. The scarcity of land in Singapore has not only prompted extreme cautioninlanddecisionsfromtheGovernmenttoclanassociationsbuthasalsoled to the multifunctionality and multipurpose nature of various buildings across the country.

Forexample,inSingapore,schoolplaygroundsareopentothepublic,andtheEast Coast'swaterfrontisutilisedforpublicrecreation.Withinthetemplesmanagedby SHHK, Thian Hock Keng not only serves as a temple but also acts as a tourist attractionandahubforculturalpromotion;KimLanBeo,besidesenshriningdeities, also houses ancestral tablets; Goh Chor Tua Pek Kong Temple serves as a crucial

node in the community network, with the temple's stage hosting regular cultural events.Suchmultifacetedspacesefficientlymeetdiversesocietalneedswithin the limited urban environment, facilitating connections with individuals of various identities.Theexpandedscopeofservicesoftemples:fromservingsolelydevotees to encompassing the community, neighborhood, and the whole nation, in turn benefitsthetemples'operationsandsustainability. This explanation aligned with the observation that, after the closure of Leng Kee Suah, Leng San Teng Temple, without preserving the ancestral tablets from the burial ground, does not attract as much devotion or renown as the other three temples,despiteitsfavourablelocationneartheMRTstation.

Chapter 8: Conclusion

ThisstudytakestheSingaporeHokkienHuayKuanandthe fouraffiliatedtemples currently under its management as its research objects and focuses on the interactionbetweenthetwoandtheimpactonthesurvivalofthetemplebuildings.

Chapter1providesanintroductiontothestudybackground.Chapter2providesan overviewofpreviousstudies.Chapter3focusesonthescopeofthestudyandthe researchmethodologyandraisestheresearchquestions.

Chapter4-Chapter6presentsthefindingsofthestudy.

Chapter4delvesintothehistoricalinteractionsbetweenSHHKandtemplesbefore, at, and afterthe SHHKtakeover. Itexamines howthese interactions haveevolved from a cooperative to a more integrated management approach, with SHHK increasingly taking on a management role to ensure the sustainability of temple architecturesandpractices.

Chapter 5 discusses the contemporary interactions between SHHK and temples, dividedintodailyandnon-dailymanagement.Itanalysestheidentitiesofthedaily managers as well as the economic operation of the temples. It analyses the roles played by different subjects, including Singapore Hokkien Huay Kuan, the temple managers and the government departments, by examining the renovation and culturalpromotionpracticesofthefourtemplesinthepresentday.

Chapter6addressesthechallengesandobstaclesencounteredinthesustainability oftemples.Itidentifieskeyissuessuchasfunding,regulatoryenvironments,andthe need for skilled conservation professionals. The chapter also discusses the developmentofthetemplesthatSHHKhadplanned

Chapter 7 provides a more in-depth discussion of the previous findings. A comparison is conducted between the management mode of the affiliated four

temples and the traditional Chinese temple management mode In doing so, it is viewedtoseethechangesthathaveoccurredintheprocessofmodernisationand standardisation. The chapter also discusses the socio-political changes that arise frommodernurbandevelopmentpressuresandhowtheseaffectthesustainability andconservationofhistoricalsites.Moreover,adiscussiononspaceefficiencyand multifunctionalitywasincluded,whichattemptstoexplorehowmultifacetedspaces, like some temples in Singapore, can work to strengthen connections with the populationandexpandtherangeofservicesunderthecontextoflandscarcity. Themostsignificantfindingsareasfollows:

8.1 Historical Interactions between Clan Associations and Temples

Before the takeover by Singapore Hokkien Huay Kuan, the connection between SHHKandtheotherthreetempleswasmoreaboutbeingpartofthelarger dialect community and context of the "Hokkien Bang." Temples relied on leaders of the Hokkien Bang and Hokkien business people for financial support and technical guidance in renovations and construction. This support from the community was relativelylooseandwasnotaunifiedorstableorganisation;instead,itwasbased on a locality-based sense of identity shared among Hokkien immigrants. On the otherhand,therelationshipbetweenSHHKandThianHockKengwascharacterised bysharedspacesandoverlappingfunctions.Thetempleprovidedaphysicalspace fortheassociation'sactivities,includingadministrativeandculturalfunctions.Asa clan association originating from the temple, Thian Hock Keng became its first leadership headquarters, the basis for intertwining community and religious activities.

Overtime,withthedevelopmentofthesociety,SingaporeHokkienHuayKuan,with moresecularresourcesatitsdisposal,graduallytooktheleadingroleinthetemple-

clanassociationrelationship,detachingitselffromThianHockKengandexistingin the form of a locality-based clan association, while Thian Hock Keng formally becameasubordinatetempleoftheclanassociation.Atthispoint,thetempleand theclanassociationformeda"managingandbeingmanaged"relationship.Atthis stage,SHHKactedasamediatorandstakeholder,effectivelyassistingthetemplein thelong-termnegotiationwiththeGovernmentintermsoflandacquisition,social organisationmanagement,etc.,aswellascontributingtotherepurchase selecting ofthesite,constructionofthetempleduringitsrelocationandexpropriation,and savingthetemplefromthesurvivalcrisis.

8.2 Contemporary Interactions between Clan Associations and Temples

Except for Thian Hock Keng, the other three temples, although largely managed autonomously,relyonSHHKforoverarchingcoordinationandsupport,especially innon-routinematters.

The management mode varies among the temples; while a committee directly managesThianHockKeng,othertemplesaremanagedbyindividualsorfamilies.In termsoffinance,SHHKhasaclearplanforfundingthetemples,whicharefinanced by income from the estates. The relationship between the managers and the clan associationisalease.Amongthem,thelistofaccountsofThianHockKeng,under directmanagementbySHHK,ismoreapparentandstraightforward.

In terms of building maintenance and renovation, apart from regular daily maintenance,theSingaporeHokkienHuayKuanassumesthefunctionofproviding fundsandisresponsibleforhiringengineerstoinspectthebuildingconditionand carryouttheproject.Regardlessofwhichtempleistargetedforrenovation,SHHK's overallideaofrestorationistomaintaintheoriginalappearance.Atthesametime, therehavebeensomedisagreementswiththetemple'smanagersinthisprocess.

In terms of cultural inheritance and promotion, Thian Hock Keng has made a conscious effort to be more effective and systematic. Moreover, it has received government funding to introduce modern technology and promote its culture. In contrast, the other three temples are relatively lacking in this aspect. At the same time, there are some development possibilities regarding the interaction of the deitiesdedicatedindifferenttemples.

8.3 Challenges and Development

At present, the temples are operating smoothly without encountering any significant challenges, and part of the potential crisis comes from the lack of managementtalentsandthecrisisrelatedtothetrustbuildingwiththecommunity. Forthetimebeing,thefuturedevelopmentofthetempleswillnotbesubjecttoany drasticchangesbutwillbesteadyandprogressive.

Overall, the interaction between temples and clan associations is complex and diverse,presentingarelationshipofmutualbenefitandcooperativemanagement. Bothsidesshareacommonhistoricalandculturalidentity,andwhilemaintaining their independence, they develop together through resource sharing, cultural heritage, and community services. Clan associations usually support temples financially and with resources to help with repairs and day-to-day management, while temples play a central role in the clan association's social activities and religious ceremonies, enhancing community cohesion and cultural identity. Their historyiscloselyintertwinedwithSingapore's,enrichingsocialstoriesaboutlocal heritageandintegratingthemintonationalnarratives.

At the same time, clan associations and temples are also undergoing transformations in social trends, from the private to the public, from tradition to

modernity. In a broader temporal dimension, the political attributes attached to templesandclanassociationshavebeenbothreplacedbyculturalattributes.

TheHokkienancestorswhocrossedtheoceantoSingapore184yearsagoandbuilt theThianHockKengtoprayforblessingswouldnot haveimagined that it would havebecomeanationalmonumentteemingwithtourists,thatthetheatreopposite thetemple would onedaybetransformed intoaglass-fronted SingaporeHokkien HuayKuanbuilding,andthattherewouldbenotraceofthecoastline,whichusedto benexttothetemple.

Such interactions and transformations are what make Singapore, a modernised immigrant society, so fascinating and irreplaceable. It also represents endless uncertaintyandpotentialregardinghowlongthetempleswillstandandwheretheir fatewillgo.

Bibliography

A Study on Singapore Kwong Wai Shiu Free Hospital(1908-1942) .(2017).[硕士 学位论文].

https://kns.cnki.net/KCMS/detail/detail.aspx?dbcode=CMFD&dbname=CM FD201701&filename=1016919230.nh

A Study on Singapore Thong Chai Medical Institution.(2014).[硕士学位论文].

https://kns.cnki.net/KCMS/detail/detail.aspx?dbcode=CMFD&dbname=CM FD201402&filename=1014005032.nh

About BCS | Buddhist College Singapore.(n.d.).Retrieved20April2024,from https://www.bcs.edu.sg/about-bcs/

ChenA.(2022,November17).Congbaoping’anjieshanyuandaofuwushequ bendimiaoyugongnengzhuanxing[Fromensuringsafetyandbuildinggood relationshipstoservingthecommunity:Thefunctionaltransformationof localtemples]. Lianhe Zanbao,3.

Cheng,L.K.(2018).TraditionalReligiousBeliefs,EmigrationandtheSocial StructureoftheChineseinSingapore.In A General History of the Chinese in Singapore (pp.479–500).WORLDSCIENTIFIC. https://doi.org/10.1142/9789813277649_0022

ChiangB.(2015).BetweenHometownandOverseasResidenceTheTransnational InfluenceofSingaporeKimMuiHoeyKuanbefore1949. The International Journal of Diasporic Chinese Studies, 07(02),1–28.

https://doi.org/10.1142/S1793724815000140

Chong,M.A.(1991). The Chinese Clan Associations in Singapore: Survival Or Demise? [PhDThesis].DepartmentofSociology,FacultyofArts&Social Sciences,National….

DuN.(2016,November28).DuNanfa:Zhuangyiraojing[DuNan:ChingayAround theRealm]. Lianhe Zanbao

https://www.zaobao.com.sg/zopinions/opinions/story20161128-695505

Freedman,M.(1960).ImmigrantsandAssociations:Chineseinnineteenth-century Singapore. Comparative Studies in Society and History, 3(1),25–48.

https://doi.org/10.1017/S0010417500000980

FujianhuiguanshuxiaJinlanmiaochongjianluocheng[UndertheHokkien Association:CompletionoftheReconstructionofKimLanBeo].(1986, September21). Lianhe Wanbao,3.

Gamba,C.(1966).ChineseAssociationsinSingapore. Journal of the Malaysian Branch of the Royal Asiatic Society, 39(2(210)),123–168.

Goossaert,V.(2006).ResidentSpecialistsandTempleManagersinLateImperial China. Min-Su Ch’ü-Yi, 153,25.

Guo,Y.(2020).SpatialRelationshipandSignificanceofMazuTempleandFujian GuildHall. Journal of Xiamen University of Technology, 4.

https://doi.org/10.19697/j.cnki.1673-4432.202004003

GuoY.(2023).Lichengzhigong:XinjiapoHougangDoumugongdekongjianxushu yufuhaochengxian[PalaceBeyondtheCity:SpatialNarrativesand SymbolicRepresentationsoftheKewOngYahTempleinSingapore]. Renshe Donghua.

https://journal.ndhu.edu.tw/%e9%9b%a2%e5%9f%8e%e4%b9%8b%e5 %ae%ae%ef%bc%9a%e6%96%b0%e5%8a%a0%e5%9d%a1%e5%be%8

c%e6%b8%af%e6%96%97%e6%af%8d%e5%ae%ae%e7%9a%84%e7%a

9%ba%e9%96%93%e6%95%98%e8%bf%b0%e8%88%87%e7%ac%a6

%e8%99%9f%e5%91%88/

HuangS.(1981).AStudyontheFormationandHistoricalPeriodizationofthe OverseasChineseCommunityinSingaporeandMalaysia. 东南亚研究资料, 1981(3),47–61.https://doi.org/10.19561/j.cnki.sas.1981.03.003

Huang,W.(2017).CongBojingNanmingdaoNanhaiMingzhu XinjiapoTianfu

GongdeMazuxinyangyuwenhuawangluojiangou[Fromthe BojingnanmingtotheJeweloftheSouthChinaSea Constructionofthe MazuBeliefandCulturalNetworkatSingapore’sThianHockKeng].

Shicheng Daojiao, 3.https://www.taoistfederation.org.sg/wpcontent/uploads/2019/10/Taoist_51_ebook.pdf

Hue,G.T.(2018).ChineseTemplesandtheTransnationalNetworks:Hokkien CommunityinSingapore.In A General History of the Chinese in Singapore (pp.501–516).WORLDSCIENTIFIC. https://doi.org/10.1142/9789813277649_0023

Kohl,D.G.(1978). Chinese Architecture In the Straits Settlements and Western Malaya

Lee,C.H.(2004).InteractionbetweenEducationEnterpriseandPolitical

Environment:AStudyofChangesintheNatureofSchoolsEstablishedby TeochewAssociationsinSingapore. JOURNAL OF SHANTOU UNIVERSITY, 3 https://kns.cnki.net/KCMS/detail/detail.aspx?dbcode=CJFQ&dbname=CJF D2004&filename=rwst200403014

Lee,K.L.(1969). Lee Kip Lin Collection: Papers, minutes of meeting, and correspondence relating to Singapore Preservation of Monuments Board, 1969-1976. (LeeKongChianReferenceLibrary).

Li,J.(2014). The Transition, Causes and Future Development of Chinese Associations after World War Ⅱ . https://kns.cnki.net/KCMS/detail/detail.aspx?dbcode=CJFQ&dbname=CJF D2014&filename=DNYA201403018&v=

Li,L.,&Zhang,H.(2022). Authority Produced in Architectural Space: Taking Tianfu Temple in Singapore as Example https://kns.cnki.net/KCMS/detail/detail.aspx?dbcode=CJFQ&dbname=CJF

DLAST2022&filename=HQDX202201003&v=

Li,Y.(1973,July12).BuzaiWucaoqude‘WucaoDabogong’[The"GohChorTua PekKongTemple"notintheGohChorArea]. Sin Chew Jit Poh https://eresources.nlb.gov.sg/newspapers/digitised/article/scjp197307121.2.76.6?qt=%E6%A2%A7,%20%E6%A7%BD,%20%E5%A4%A7,%20%E4 %BC%AF,%20%E5%85%AC,%20%E5%BB%9F&q=%E6%A2%A7%E6%A 7%BD%E5%A4%A7%E4%BC%AF%E5%85%AC%E5%BB%9F

LiY.(2010).TheanHockKeongandItsLeadership,OrganizationandFunctions, 1840–1915:AStudyBasedonNewspaperMaterials. The International Journal of Diasporic Chinese Studies, 02(02),1–25.

https://doi.org/10.1142/S1793724810000155

Lin,F.(2018,January1).APreliminaryStudyofOverseasChineseEthnicityand ChineseIdentityintheColonialEra ACaseoftheThongChaiMedical InstitutionofSingapore. Education and Management Innovation.20183rd

PILInternationalConferenceonEducationandManagementInnovation (PIL-EMI2018).https://doi.org/10.5729

Lin,G.(2023).ZouHongshan,jingguosigemiao[WalkingthroughRedHill,Passing FourTemples]. Yuan, 161,20.

LinW.(2024,March9).Jinlanmiaozanguanbifaxinyanjiuyuantuoyinmiaonei shibeizuoyanjiu[KimLanBeotemporarilyclosedforrenovation, researchersmakerubbingsofstonestelesforstudy]. LIANHE ZAOBAO.

https://www.zaobao.com.sg/news/singapore/story20240309-3131023

LinX.(1975). Historical Monuments in Selat.SOUTHSEASSOCIETY(SINGAPORE).

LuS.(2018,October27).Zhongjiangtaxiangdangguxiang:JinmenxianxianLiShi

TayuLinJiShan[Eventuallymakingaforeignlandtheirhomeland: Kinmen’seminentpersonLeeShiTaandLinJiShan]. LIANHE ZAOBAO

https://www.zaobao.com.sg/news/fukan/multiplex/story20181027902449

Ng,W.C.(1992).UrbanChineseSocialOrganization:SomeUnexploredAspectsin HuiguanDevelopmentinSingapore,1900–1941. Modern Asian Studies, 26(3),469–494.https://doi.org/10.1017/S0026749X00009872

Purcell,V.(1965). The Chinese in Southeast Asia.OxfordUniversityPress.

QuR.(1990,May24).FujianhuiguanjuekuojianWucaoDabogongdengmiao

[FujianAssociationDecidestoExpandGohChorTuaPekKongandOther Temples]. Lianhe Zaobao,5.

RenN.,&ChenY.(2002).HistoryofSingaporeHokienHuayKuan:Evolutionin StructureandFunction. Southeast Asian Affairs, 2002(2),47-57,95.

ShowY.R.(2020).TheGoodWomenofLionCity:VegetarianNunsandtheir ReligiousCommunityinSingaporeSince19thCentury. Research on Women in Modern Chinese History, 35,121–181.

SingaporeHokkienHuayKuan.(1963). Singapore Hokkien Huay Kuan collection: Kim Lan Beo Temple, 1963-1980 (LeeKongChianReferenceLibrary).

SingaporeHokkienHuayKuan.(1965). Singapore Hokkien Huay Kuan collection: Leng Kee Sua, lot 19-8 mukim I, Kampong Tiong Bahru (LeeKongChian ReferenceLibrary).

SingaporeHokkienHuayKuan.(1972). Singapore Hokkien Huay Kuan collection: Kim Lan Beo Temple and Kim Tian Road, 1972-1982 (LeeKongChian ReferenceLibrary).

SingaporeHokkienHuayKuan.(2014,September).Mianhuaiguji Wucao

Dabogongmiao[RememberingtheHistoricalSites GohChorTuaPek KongTemple]. Singapore Hokkien Huay Kuan Newslette, 61. https://www.shhk.com.sg/wp-content/uploads/2015/12/SHHKNewsletter-61.pdf

SingaporeHokkienHuayKuan.(2015,January).Weizhenyifang Linshanting [DominatingOneSide LengSanTeng]. Singapore Hokkien Huay Kuan Newslette, 62.https://www.shhk.com.sg/wpcontent/uploads/2015/12/SHHK-Newsletter-62.pdf

Tang,F.(2012).StudyontheSchoolRunningbyChineseGuildHallinSingapore beforetheWorldWar Ⅱ Southeast Asian Studies, 2012(4),90–96. https://doi.org/10.19561/j.cnki.sas.2012.04.014

Tian,Y.(2018). A Preliminary Study on the Present Situation of Overseas Chinese Architecture in Malaysia,Singapore (p.170)[硕士学位论文].

https://kns.cnki.net/KCMS/detail/detail.aspx?dbcode=CMFD&dbname=CM

FD201802&filename=1018887240.nh&v=

Wang,L.(2007). Temples and Overseas Chinese Society in Singapore in Modern Times.

https://kns.cnki.net/KCMS/detail/detail.aspx?dbcode=CMFD&dbname=CM

FD2007&filename=2006179118.nh&v=

WhereduriansandChineseoperacometogether.(2021,July13). The Long and Winding Road

https://thelongnwindingroad.wordpress.com/2021/07/13/wheredurians-and-chinese-opera-come-together/

WuH.(1975). Records of Chinese Associations in Singapore (Vol.16).SouthSeas Society.https://go.exlibris.link/v17MlxDj

Wu,W.(2009). Transformation and Development of the Contemporary Chinese Clan Association in Southeast Asia The Research on SFCCA [硕士学位论文].

https://kns.cnki.net/KCMS/detail/detail.aspx?dbcode=CMFD&dbname=CM FD2009&filename=2009080484.nh&v=

Yen,C.-H.(1981).EarlyChineseClanOrganizationsinSingaporeandMalaya, 1819–1911. Journal of Southeast Asian Studies, 12(1),62–91.

https://doi.org/10.1017/S0022463400004999

YenC.-H.(2010).TheTeochewsandHokkiensinEarlySingapore:AComparative StudyofPowerStructureandPowerRelations. The International Journal of Diasporic Chinese Studies, 02(01),21–50.

https://doi.org/10.1142/S1793724810000040

Zhang,J.(2020).TheOriginofOverseasChineseNative-placeAssociationsand TheirInteractiveRelationshipwithOverseasChineseTraditionalReligion:

TheCaseinSoutheastAsia. Journal of Overseas Chinese History Studies, 4, 50–58.

ZhangJ.(2024,March22).WucaoDabogongmiaojiangjiaoFujianhuiguandali huiguanchengnuowanzhengbaoliumiaoyu[GohChorTuaPekKong

Temple tobemanagedbytheHokkienClanAssociation,whichpromises tofullypreservethetemple]. Lianhe Zaobao. https://www.zaobao.com.sg/news/singapore/story20240322-3165554

Zhuang,Q.(1988,November6).O!Nakuaigaimaolongdejiumuban[Oh!Thatold woodenboardcoveringthecatcage]. Lianhe Zaobao,40.

Appendix1:TranscriptInterviewwithMsJosephineGan

Translation Version in English:

Q: In the organizational structure of Singapore Hokkien Huay Kuan, which department is currently managing the temples?

A: The management is handled by the Culture and Estate Commitees, which is a cross-departmentalmanagementapproachinvolvingfinancingmatters.

Q: Has Singapore Hokkien Huay Kuan outsourced any of the temple functions or powers, such as operational and management rights?

A: Thian Hock Keng is directly managed by the Huay Kuan, while the other three templeshavelessoversight,withoperationalrightsoutsourced.

Q: What are the sources of income for the temples? Is this income monitored by Singapore Hokkien Huay Kuan?

A:Themainincomecomesfromofferingssuchasincensemoney.Theincomeand expenditure for directly managed temples are transparent, whereas it's less transparentforindirectlymanagedtemples.

Q: Does Singapore Hokkien Huay Kuan conduct regular supervision of the temples? Do the temples need to get approval from the SHHK for organizing ceremonies?

A: Temples organize ceremonies without needing approval from the Huay Kuan, enjoying a high degree of autonomy, but they lack the capability for major renovationsandrestorations.

Q: Is there interaction among the four temples managed by Singapore Hokkien Huay Kuan?

A: There is interaction, for example, during the renovation period of Thian Hock Keng,statuesweretemporarilystoredatKimLanBeo.

Q: What are the biggest challenges in daily and non-daily management (such as long-term protection planning and architectural renovations) of Singapore Hokkien Huay Kuan?

A:Majorchallengesincludewhetherthenextgenerationiswillingtotakeoverthe management,andagenerallackofmanagementtalent.Thesefactorsaffectthelongtermmaintenanceandmanagementofthetemples.

Q: When did Kim Lan Beo come under the management of Singapore Hokkien Huay Kuan? What is the identity of the manager?

A:ThemanagersofKimLanBeohavechangedseveraltimes,latermanagedbythe templekeeperofThianHockKengandtheirchildren.

Q: Kim Lan Beo has many statues. What are the sources of these statues?

A:TheseincludetheTuaPekKongfromSiKarTengandHengSanTeng.

Q: Can you share details about the restoration of Kim Lan Beo that started in March this year?

A:ThebuildinginspectionofKimLanBeomainlytargetedthedamagetothetropical area'swoodenstructures,particularlyleaks.Duetothevulnerabilityofthewoodin tropicalclimates,inspectionsrevealedhighceilingsthatweredifficulttoclean,thus necessitating significant funds for thorough maintenance and restoration. The boardsupportedtheserestorationefforts.

Q: Why did Singapore Hokkien Huay Kuan choose to repurchase Leng San Teng Temple after Leng Kee Suah was expropriated by the government?

A:SingaporeHokkienHuayKuanchosetorepurchaseLengSanTengTempledueto a mandate from the community. The government's plan to expropriate Leng Kee

SuahandLengSanTengwithoutpreservationplanscausedcommunitydiscontent. Thus,theHuayKuansteppedinasamediator.

Q: How did Singapore Hokkien Huay Kuan and Thian Hock Keng define management responsibilities and boundaries during the period they shared space?

A:SingaporeHokkienHuayKuan’smeetingplacewasinitiallylocatedinasidehall ofThianHockKeng,andtheymovedoutduetoinsufficientofficespace.

Q: Why were the renovations planned in 1990 for Goh Chor Tua Pek Kong Temple not implemented?

A: The reasons include issues with funding distribution, including how much to investandtheproportionsfromdifferentstakeholders.Anddisagreementsbetween themanagersandtheHuayKuanovertherenovationplans.Additionally,theHuay Kuanfeltthat theproposed renovations wereonlysuperficialanddidnot involve in-depthrepairs.

Q: Have Goh Chor Tua Pek Kong Temple and the nearby Tian De Gong already merged?

A: The previously attempted merger Tian De Gong has moved to Tampines and becamepartofaunitedtemple.Thus,GohChorTuaPekKongTempleandTianDe Gonghavenotmerged.

Q: Goh Chor Tua Pek Kong Temple is currently managed by a family. When did they start managing the temple? What are their specific identities?

A: The current managers are descendants of the temple's founders, with the managementrightspasseddownthroughgenerations.

Q: What are the existing issues in the management process of Goh Chor Tua Pek Kong Temple?

A: The main issues include transparency of funds and building maintenance. Additionally,thereisasuccessionproblem,asthereisnoonetotakeover.

Q: What plans or strategies does Singapore Hokkien Huay Kuan have for managing this temple after taking back control? For example, is the temple outsourced to others, or does the Huay Kuan assign its own staff for daily management?

A: Singapore Hokkien Huay Kuan plans to have its own staff take over the management, with future architectural renovations still in planning. Additionally, communicationwiththeURAisneededtodeterminefeasibleactions.

(Noted:allinterviewswereconductedverbally,andtranscribedlater)

Original Version in Chinese:

问:在福建会馆的组织结构中,目前是哪个部门在对寺庙进行管理? 答:管理部门是文化组和产业组,这是一个跨部门的管理方式,运营也涉及到财政 问题。

问:福建会馆是否向外承包了庙宇的部分职能或权力,如运营权和管理权?

答:天福宫由会馆直接管理,其他三间庙宇的管理较少,会馆承包出经营权。

问:庙宇的收入来源是什么?这部分收入是否需要受到福建会馆的监管?

答:庙宇的主要收入来自香油钱等。其中直接管理的庙宇的收支是透明的,间接管 理的部分则较不透明。

问:福建会馆是否对庙宇进行定期的监督?庙宇对于仪式的举办是否需要经过会 馆的批准?

答:庙宇组织仪式不需要向会馆报批,有较高的自主性,但在大型修缮和翻新方面 能力有限。

问:福建会馆管理下的 4 间庙宇是否存在互动?

答:存在互动,例如天福宫修缮期间,神像曾暂存至金兰庙。

问:会馆在日常管理和非日常管理(如长期保护规划和建筑修复)中遇到的最大挑 战是什么?

答:主要挑战包括下一代是否愿意接手管理,管理人才也较为缺乏。这些因素均影 响庙宇的长期维护和管理。

问:金兰庙从何时开始交予福建会馆管理?管理者的身份是什么?

答:金兰庙的管理者换过多任,后由天福宫的庙祝和其子女接管。

问:金兰庙内神像众多,神像的来源有哪些? 答:包括四脚亭大伯公和恒山亭大伯公等。

问:关于金兰庙今年 3 月开始的庙宇翻修,能否分享细节?

答:金兰庙的建筑检测主要是针对热带地区木结构的受损情况,特别是漏水问题。

由于木结构在热带气候中容易受损,检测发现天花板高而难以清理,因此修缮需要

动用大笔资金进行彻底的维护和恢复。理事会支持了这些修缮工作。

问:在麟记山被政府征地后,福建会馆为什么选择重新买回麟山亭?

答:福建会馆选择重新买回麟山亭是出于社会的委托。政府征用整片麟记山及麟山 亭并不打算保留,引发了社群的不满。因此,会馆出面,作为沟通的媒介。

问:在与天福宫共享空间期间,福建会馆与天福宫如何界定管理职责和界限? 答:福建会馆的议事场所最初位于天福宫的偏殿,共享空间后因办公地方不足搬出。

问:1990 年福建会馆曾计划对梧槽大伯公庙进行修缮,最终没有实施的原因是什

答:未实施的原因包括资金分配问题,即投资多少资金以及不同主体的资金占比问 题,以及管理者和会馆之间对于翻新计划的分歧。另外,会馆认为提出的翻新计划 太过表面,没有进行深入的修复。

问:梧槽大伯公庙与邻近的天德宫是否已经合并?

答:原先试图合并的天德宫已迁往淡滨尼,成为联合宫的一部分。因此,梧槽大伯 公庙和天德宫没有合并。

问:大伯公庙目前由一个家庭进行管理,他们从何时开始负责大伯公庙的管理? 他们的具体身份是什么?

答:现在的管理者的祖辈是庙宇建设的发起人,管理权代代相传。

问:在管理过程中,大伯公庙现存的问题是什么? 答:主要问题包括资金透明度和建筑维护。此外,由于后继无人,存在管理继承问 题。

问:福建会馆在重新接管后,有哪些计划或策略来管理这个寺庙?比如,是将庙宇 承包给他人,还是会馆派专人进行日常管理?

答:福建会馆计划请会馆自己的职员接手管理,未来的建筑翻修仍在规划中。此外,

需要与 URA 城建局沟通以确定可行的行动方案。

Turn static files into dynamic content formats.

Create a flipbook
Issuu converts static files into: digital portfolios, online yearbooks, online catalogs, digital photo albums and more. Sign up and create your flipbook.