New Times, May 29, 2025

Page 1


Drone’s eye view

& REPAIR

Editor’s note

PStrictly Starkey 23 the rest

Classifieds 27

lanning to film via drone from the Pismo Beach pier? Check with the city for a permit. Want to launch a drone from the beach? Forget about it. That’s the beach safety zone. Confused? You’re not alone. The Pismo Beach City Council recently reexamined—and ultimately tabled—a revamped ordinance governing where drones can be launched and landed. Cities and counties can’t regulate the air, as it’s governed by the Federal Aviation Administration, but where drones land is within a city’s jurisdiction. Staff Writer Bulbul Rajagopal talks with a drone photographer and city officials to better understand the rules surrounding unmanned aircraft [6] Also this week, read about Morro Bay’s final flag decision [8], comedian Brad Williams’ unique perspective [20], and Edible San Luis Obispo and Etto Pastisficio’s new cookbook [26]

Andrea Rooks associate editor
cover courtesy photo by RunAmuck Photography cover design by Alex Zuniga
DRONING ON A drone shot taken by RunAmuck Photography owner Ben Schutzer shows an aerial view of the Pismo Beach pier—the location where he got a citation for drone use in October 2024.

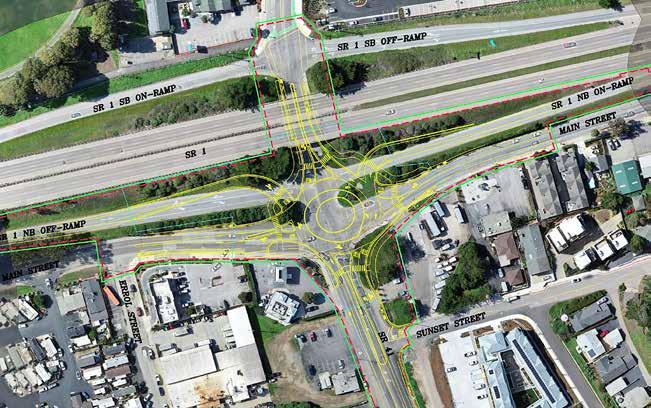
Morro Bay roundabout efforts continue

Round and round Morro Bay goes as the council determines whether a second roundabout is in the community’s best interest.

The potential new traffic circle installation has proven controversial, as the council pondered overturning its previous decision to halt the project entirely.

About 25 people spoke at the May 27 meeting and nearly 100 sent in email correspondence about the issue, half advocating for building the roundabout for traffic control, while half claimed the location, at the intersection of Main Street, Highway 1, and Highway 41, lacked enough safety measures for nearby students and cyclists.

“A roundabout at this intersection is unnecessary overkill and would be dangerous to the great number of pedestrians from Morro Bay High School, and the many residents of nearby mobile home parks, who use this intersection to walk to the beach,” resident Tina Metzger wrote to the board.

Consideration for a roundabout started in 2023 when the council approved starting an environmental impact report, which would be the first of about three phases before the project would be complete.

Once Morro Bay finished the study, Caltrans would fund and complete the design and construction at no cost to the city.

Right now, the first phase is about 96 percent complete, and according to Morro Bay Public Works Director Greg Kwolek, the city has spent about $350,000 on the study with $81,000 left to complete it.

But this first phase took a quick detour after the council expressed concerns about the roundabout’s safety and traffic flow at its April 22

meeting, ultimately halting the project entirely with a 3-2 vote.

Mayor Carla Wixom told New Times that after the council stopped the nearly completed study, the San Luis Obispo Council of Governments (SLOCOG) offered its services to complete the study if the city funded the remaining cost.

With a 4-1 vote, the council opted to turn the study over to SLOCOG on May 27.

While Wixom has historically been against a roundabout at Highways 1 and 41, she told New Times the council recognized this as an opportunity to resolve community division by placing it in the

hands of transportation professionals, and that the city would still have a seat at the table for future phases.

“We want things that bring us together, not divide us, and so everybody’s very impassioned with their positions on this, and most of it really comes back to the concerns for safety for pedestrians and bike riders,” she said. “Right now, that’s not the phase we’re at. So, unfortunately, the process is that you’re going to move to that phase—which means you spend more money. So there’s more time, commitment, and money to decide if a year or two from now, when it comes back in that design phase, do we accept this project?”

Once SLOCOG completes the environmental impact report, the project will shift to Caltrans for a design plan, Wixom said. From there, the project will return to the council for its final approval and public input before construction.

“We got there, and it’s moving forward,” Wixom said. “Again, it comes down to a very divided issue, and unfortunately a lot of the information I think that the community needs is not yet available. It’ll come through this next phase.” ∆

SLO greenlights first council compensation committee since 2020

The San Luis Obispo City Council authorized the formation of a constituent-led compensation committee to review raises paid to council members, the Planning Commission, and the Architectural Review Commission (ARC).

“It was a very difficult committee to be on,” Councilmember Jan Marx, who served on the 2004 compensation committee, said at the May 20 City Council meeting. “We ended basically just saying keep it the way it is more or less.”

According to the city charter, compensation for the mayor and the City Council should be reviewed biennially in even-numbered years. The recommended adjustments would become effective the following January of the next two-year period. SLO’s last compensation committee assembled in 2020. It recommended increasing the mayor’s

and councilmembers’ monthly stipends to $2,508 (from $1,725) and $1,990 (from $1,224), respectively.

The committee also recommended deferring compensations for the Planning Commission and ARC.

A compensation committee wasn’t formed in 2022. Instead, the city adopted a resolution setting a biennial consumer price index (CPI) increase to the three bodies. The City Council approved a CPI increase of 8.3 percent to monthly compensations in 2024. Currently, the mayor’s monthly stipend is $2,923 and councilmembers receive $2,319.

City staff said that the professional development allowances for council members aren’t enough, especially with the cost of training programs and traveling to conferences rising exponentially. On average, attending an in-state conference costs roughly $1,800, accounting for items like travel and lodging. That amount increases for out-of-state conferences.

Deputy City Manager Greg Hermann suggested applying a CPI “catch-up” on professional development allowances since 2012.

“The total increase was about 35 percent during those intervening years,” he said. “If the council wanted to apply the CPI increase on a go-forward basis to professional development similar to what it does for salaries, we’d need to amend the policies and procedures because right now it’s just specific to salaries.”

If the City Council had approved applying the 35 percent catch-up to its professional development allowances, the mayor’s allocation would have risen from $3,600 to $4,830. Councilmembers’ professional development allowance would have increased from $2,700 to $3,650.

However, the City Council unanimously voted to let the public weigh in through a constituentled compensation committee. The city must

—Libbey Hanson
NOT-SO-MERRY-GO-ROUND Since 2023, Morro Bay has had its eyes set on a second roundabout to improve traffic flow, but recent concerns from residents and the City Council halted the project. On May 27 the City Council overturned its previous decision and gave the SLO Council of Governments the green light to continue the project’s first phase.

appoint the seven-member committee consisting of at least one previously elected official and a member of the personnel board by January 2026. The committee must then submit its compensation recommendation to the City Council in the form of a resolution by May 2026. If the City Council approves the resolution, it’ll become effective January 2027.

“I’ve seen how much work our City Council members put into their jobs,” 2020 compensation committee member Kim Bisheff told New Times. “I think that many people don’t know that it’s barely compensated in terms of the amount of work they do. They’re definitely being paid far less than minimum wage to do that work.”

Bisheff has served on the committee twice. During her 2020 service, former City Councilmember Dan Rivoire and city staff guided the committee. They studied data and the actions of other comparable communities in California and analyzed the city budget before drawing up recommendations.

“If we want to have a city council that doesn’t just represent independently wealthy constituents, then then we need to make running for office more affordable for a wider range of community members,” Bisheff said. “Engaging the public in that process helps ensure that there’s transparency, that the conversations are happening in language that we know people will understand, not just city jargon.”

The proposed committee will not only consider the compensation packages for the Planning Commission and ARC but will also examine salaries for other advisory bodies. Councilmember Mike Boswell acknowledged that those other committees are doing more work now than they were in the past.

Assistant City Manager Hermann added that the Planning Commissioners make $86 per meeting, with salaries that couldn’t exceed $347 per month.

“I really believe strongly that part of being a robust democracy is having public discussion around these types of things,” Councilmember Emily Francis said. “I also believe that there is some pretty big equity issues embedded in the compensation of our advisory bodies.”

Grover Beach expands fireworks enforcement to property owners and tenants

Grover Beach Police Department will be cracking down on homeowners and tenants if their property becomes the launch site of illegal fireworks.

The new enforcement effort has the Grover Beach City Council to thank for unanimously adopting a “social host” ordinance on May 27. The updated fireworks law, which takes effect June 27, aims to curb the presence of illegal fireworks in the area.

“Over the years, illegal/dangerous fireworks continue to be an issue within our community,” Police Chief Jim Munro told New Times. “We hear from residents each year that more must be done.”

Illegal fireworks are those that are prohibited from being sold, possessed, or used by the general public unless those

people hold a special display license.

Calls to the police complaining about fireworks activity have been decreasing over the years, but they’re prevalent around the Fourth of July. In 2020, 81 of the total 299 fireworks calls occurred between July 3 and 5. The total number of fireworks-related calls dropped to 98 in 2024, 37 of which took place around July 4.

“Thank you for this ordinance,” a Grover Beach resident and the sole public speaker at the May 27 meeting said. “My dog goes nuts from mid-June through after July, and I appreciate it, because when he goes nuts, I can’t sleep.”

Last year, police cited eight people for possessing and using illegal fireworks, according to Munro. All people cited since 2021 have been males between the ages of 15 and 54 years. While the bulk of those people were Grover Beach residents, some offenders came from Los Osos, Atascadero, Arroyo Grande, Guadalupe, and even Las Vegas.

Grover Beach’s ordinance update arrives on the heels of the San Luis Obispo County Board of Supervisors adopting a similar law impacting unincorporated communities, especially the Oceano Community Services District.

“Staff would also note for the council’s awareness that ‘safe and sane’ fireworks will not be allowed in Oceano beginning this year pursuant to county codes, given the county’s new responsibility for fire service in Oceano,” the Grover Beach staff report said. “This will provide an opportunity to observe how such a change will impact overall illegal fireworks use in a community.”

With City Council’s adoption of the ordinance that slaps a $1,000 fine on social hosts for each illegal fireworksrelated violation on their premises, the Police Department will now conduct an outreach campaign ahead of Fourth of July enforcement.

Munro told New Times that the current law only allows police to cite the person lighting the fireworks. Identifying them is difficult in darkness. Now, police will use drones to observe violations from the air—allowing them to issue citations to the person responsible for the property at the time, whether they’re the renter or property owner.

City Councilmember Kathy McCorryDriscoll also suggested partnering with nonprofits to spread the word about where people can purchase safe and sane fireworks (legal ground-based fireworks approved by the State Fire Marshal). Fellow council members and the police chief agreed with the idea.

“Since the county and other cities are doing similar ordinances, I think it’s important to maintain consistency so people aren’t jumping over our very close borders just to light off fireworks,” Mayor Kassi Dee said.

Skate Cambria challenged to raise $300,000 more for skatepark

What was once an estimated $80,000 gap has since widened to more than $300,000 for local skateboarding enthusiasts who’ve been trying to build a skatepark in Cambria for the past five years. Now, they have six months to close that gap.

Skate Cambria Project Manager Juli Amodei told New Times that as of May 28, the group is on track to reach the hefty goal by October—a goal that was placed upon it by the Cambria Community Services District (CSD) board in late April.

“We are dedicated to getting this project out to bid and across a finish line,” Amodei said via email.

But some members of Skate Cambria told the CSD board on April 24 that they were tired of all the delays—not only after four years of fundraising to reach the project’s goal of about $1.2 million, but also after the board considered moving the project’s location in March because of the funding gap.

“I’m perplexed why there’s still questions about this,” resident Diane Brook told the board. “Time is of the essence.”

During the meeting, the board announced that the skatepark project was now about $300,000, if not more, in the hole, and board members considered contingency costs for Skate Cambria to meet before the project could break ground. These contingencies would cover any unexpected costs that could come up during construction of the park— funding that District Manager Matthew McElhenie said the district would otherwise be responsible for.

According to the staff report, the board could decide on contingencies from zero percent to 20, ranging from Skate Cambria needing to fundraise an additional $200,000 to $500,000 to cover potential cost overruns and inflation.

Since 2020, the project has raised $1.2 million—$178,000 from the district, about $378,000 raised by Skate Cambria, and a California State Parks 50-50 grant for $600,000. The district placed the same amount in its general reserve funds to match the state grant, which would be returned to it when the skatepark construction started.

Board member Michael Thomas spoke in favor of a lower contingency of $300,000 to get the project moving faster and allow the district to get its general fund dollars back for other projects.

“We need to do everything within our power to make this happen sooner or later,” Thomas said.

Board member Tom Gray disagreed and thought $500,000 was more suitable because prices would probably increase with inflation since the project would likely break ground in a year. He said he didn’t want the district to be held liable if costs were more than anticipated.

One member of the audience spoke up and said they felt like the district was throwing Skate Cambria “under the bus.”

“Gosh, we are also putting ourselves out on the line to commit to this,” they said.

Board President Debra Scott replied, “You don’t have anything that says you’re going to have to pay no matter what—we do … I hope you understand that we have to look at what’s legal for us.”

After some back and forth between board members Thomas and Gray, the board decided in a 4-1 vote to compromise with a 12.5 percent contingency, challenging Skate Cambria to raise $329,000 in six months before the project can go out for bid and start building.

Skate Cambria Project Manager Amodei told New Times via email that fundraising efforts include an upcoming chili cook-off hosted by the Cambria Fire Department on June 14 and a “$100 Challenge” featured on the group’s website. ∆

—Libbey Hanson

Drone dispute

Pismo Beach tables proposed regulations dictating where drones can launch and land

Central Coast photographer and videographer Ben Schutzer has used drones to capture footage for surfing events in Pismo Beach for the past 15 years. But in October 2024, a $1,223 ticket for flying a drone made him stop in his tracks.

“I was just flying for some clients that were surfing on the south side of the pier,” Schutzer said. “I was sitting on the first diamond of the pier where I normally fly from. I am licensed. I am insured.”

Schutzer holds the Federal Aviation Administration (FAA) drone license Part 107. It’s needed to commercially operate drones, also known as “unmanned aircraft,” over .55 pounds. To prepare for the Part 107 certification exam, he attended ground school—learning flight planning instruction called NOTAMs (notices to airmen), how to land drones, and how to read runways.

Despite his credentials, a Pismo Beach police officer believed he violated a city ordinance. Schutzer told New Times he hadn’t heard of the ordinance until then.

“It says that there’s no flying over city area, playgrounds, then ‘beach safety zones,’ which to them was all of Pismo Beach up 6 miles out to sea,” he said.

In August 2021, the Pismo Beach City Council amended its existing ban on aircraft in the beach safety zone to allow city-operated small drones to be flown for tourism and public safety purposes.

City Attorney Dave Fleishman defined the beach safety zone in an April 2025 meeting as the entirety of the city beach and the pier area.

Schutzer, who runs a company called RunAmuck Photography, consulted with the surfing event organizer to make sure they had a permit. He then contested his ticket at the San Luis Obispo Superior Court in January.

Following a trial involving the police officer who gave Schutzer the ticket, court Commissioner Leslie Kraut ruled in Schutzer’s favor. She cited a lack of signage prohibiting drone use. Schutzer told New Times that most of the signs at the pier talked about dogs, cigarettes, walking, and riding bikes, but there were none about drones.

While Schutzer was fighting his ticket, Pismo Beach staff worked on tightening the drone ordinance, according to City Attorney

Fleishman. The City Council received a list of regulations on drone operation in April. During its second reading on April 15, Fleishman insisted that the new drone ordinance wasn’t a result of the city losing the court case against Schutzer but was a way to fix the existing law to help special events drone operators.

“They were coming to the city manager for waivers of our existing ordinance as part of the special events process,” he told council members. “That waiver was not explicitly provided for in the ordinance, and it’s something we were doing administratively. So there was a concern that we don’t really have the authority to be waiving it.”

But during the ordinance’s first reading two weeks prior, Fleishman said drones can pose a public safety hazard. He cited an incident of a civilian drone colliding with a Canadian “Super Scooper” aircraft during the Palisades fire in Los Angeles County. Super Scoopers are firefighting planes that draw more than 1,500 gallons of ocean water to extinguish active fires.

City spokesperson Mike James told New Times he doesn’t have information on the number of drone-related accidents that have occurred in Pismo Beach since 2019. There were two citations each in 2024 and 2025 for violating the city municipal code of flying drones in the beach safety area, according to James. The city didn’t cite anyone for drone violations from 2021 to 2023.

“Most of the ordinances that we have in the city, we don’t enforce on a regular basis,” Fleishman told the City Council. “They are there as a tool to allow us to both protect public safety and to prevent nuisances … in the city.”

Ultimately tabled by council members for being too restrictive, the proposed ordinance attempted to govern land use of drones. That means the city wanted to control where they could take off from and land because once drones are up in the air, they enter FAA jurisdiction.

Staff recommended a slew of regulations, like drones must launch and land within a person’s visual line of sight; they can’t launch drones within 25 feet of another person except the operator; they can’t launch or

land drones from city property without permission by the city under the ordinance; they can only launch or land drones on private property with the owner’s consent.

Drones can’t be launched or landed within 250 feet of schools without authorization from school officials. They also can’t launch or land drones within 1,000 feet of any emergency response. People can’t launch or land drones to capture someone else’s image, audio recording, or other physical impression in any place where they would have reasonable expectation of privacy.

“There’s no way anyone could be expected to know where they can and cannot fly them,” Councilmember Scott Newton said during the second reading. “The bad actors are going to remain bad actors. We’re only going to hurt the people that actually follow the law, which would mean none of our commercial users are going to be taking footage off the beaches.”

Newton was the sole council member who voted against introducing the ordinance on April 1.

At the April 15 meeting, the City Council asked staff to return later with a more streamlined ordinance proposal to regulate drone use.

“I’m not going to go out and put signage until we figure out what the council would like to do,” City Manager Jorge Garcia told council members. “If someone just wanted to go fly a drone on the beach for fun, we’re not going to go after that.”

But commercial users and those wanting

to film off the beach using drones need to pay. Since the current ordinance prohibits flying drones in the beach safety area, launching off the pier for commercial purposes requires a business permit. For a drone operator conducting a business, the permit application fee is $30 plus $4, which is required under Senate Bill 1186. On top of that, the operator must also pay annual gross receipts fees.

According to the fee schedule, at the minimum, if the business makes up to $25,000 a year, the annual gross receipts fee will be $20. At the maximum level, the fee amount applies to businesses making more than $750,000 a year. They’d have to pay an annual gross receipts fee of $230 plus $20 for each additional $50,000 chunk over $750,001.

Further, movies, TV shows, and commercials eyeing Pismo Beach as a shooting locale need to apply for a $1,400 film permit. If the City Council had approved the proposed drone ordinance, staff anticipated bringing forward a resolution to establish a fee for drone use for film production.

“What I was trying to do is shoot for the stars, land on the moon with an acceptable regulation for the council,” Fleishman said. “I looked at pretty much every other city that has done drone ordinances in place and tried to … put it into this ordinance.” ∆

Reach Staff Writer Bulbul Rajagopal at brajagopal@newtimesslo.com.

SITE OF CITE RunAmuck Photography owner Ben Schutzer was flying a drone from the Pismo Beach pier to shoot a surfing event in October 2024 when a police officer gave him a $1,223 ticket for violating a drone prohibition ordinance.

COUNTY OF SAN LUIS OBISPO DEPARTMENT OF PLANNING & BUILDING PLANNING COMMISSION

WHO County of San Luis Obispo Planning Commission

WHEN

Thursday, June 12, 2025 at 9:00 AM: All items are advertised for 9:00 AM. To verify agenda placement, please call the Department of Planning & Building at (805) 781-5600.

WHAT

A hearing to consider a request by AT&T Mobility for a Conditional Use Permit (N-DRC2023-00037) to allow the construction and operation of a 35-foot-tall faux water tank tower wireless communications facility consisting of the following: 1) nine panel antennas, 2) thirty-seven remote radio units, 3) seven surge suppressor units, and 4) two GPS antennas. The project also includes associated trenching, equipment, cabinets, and hardware. The project will result in the ground disturbance of .31 acres on a 37-acre parcel. The proposed project is within the Agriculture land use category and is located at 2707 Stagecoach Road, approximately 3 miles east of the City of Paso Robles. The site is in the El Pomar-Estrella sub-area of the North County Planning Area.

Also to be considered is the determination that this project is categorically exempt from environmental review under CEQA.

County File Number: N-DRC2023-00037

Supervisorial District: District 5 Assessor Parcel Number(s): 035-071-011

Date Accepted: 2/13/2025

WHERE

The hearing will be held in Katcho Achadjian Government Center, Board of Supervisors Chambers,1055 Monterey Street, Room #D170, San Luis Obispo, CA. The Board of Supervisors Chambers are located on the corner of Santa Rosa and Monterey Streets. At the meeting all interested persons may express their views for or against, or to change the proposal.

ADDITIONAL INFORMATION

A copy of the staff report will be made available on the Planning Department website at www.sloplanning.org

You may also contact Elizabeth Moreno, Project Manager, in the Department of Planning and Building at the address below or by telephone at 805-781- 5600.

Ysabel Eighmy Secretary Planning Commission

MAY 29, 2025

PLANNING COMMISSION PUBLIC HEARING

The San Luis Obispo Planning Commission will hold a Regular Meeting on Wednesday, June, 11, 2025, at 6:00 p.m. in the Council Chambers at City Hall, 990 Palm Street, San Luis Obispo. Meetings may be viewed on Government Access Channel 20 or streamed live from the City’s YouTube channel at www.youtube.com/ CityofSanLuisObispo Public comment, prior to the start of the meeting, may be submitted in writing via U.S. Mail delivered to the City Clerk’s Office at 990 Palm Street, San Luis Obispo, CA 93401 or by email to advisorybodies@slocity.org

PUBLIC HEARING ITEMS:

• Review of an appeal of the Community Development Director’s decision to approve Fence Height Exception application FNCE0686-2024, that would allow a fence up to seven feet in height on a retaining wall in the west side setback, and to allow hedges up to eight feet in height in a limited portion of the east side setback (categorically exempt from CEQA environmental review); Project Address: 1425 Sydney Street; Case #: APPL‑0248‑2025; Zone: R‑1; Craig and Allison Brandum, appellants

Contact: Walter Oetzell, Assistant Planner – (805) 781-7593 –woetzell@slocity.org

• To accommodate a proposed school and daycare, the project review includes: (1) Moderate Development Review to allow building, site, and sign improvements; (2) Planned Development Amendment to change use of the large office building; (3) Conditional Use Permit to operate the school and daycare; and (4) Tree Removal Application for removal and compensatory plantings for 20 trees. The project also requests exceptions to allow mechanical equipment in the creek setback and fencing in the open space easement. The project is categorically exempt from environmental review (CEQA); Project Address: 3450 Broad Street; Case #s: ARCH 0672 2024, PDEV 0673 2024, USE 0674 2024, and TREE 0033 2025; Zone: C S S PD; San Luis Obispo Classical Academy, applicant

Contact: Hannah Hanh, Associate Planner – (805) 781-7432 –hhanh@slocity.org

The Planning Commission may also discuss other hearing or business items before or after the item(s) listed above. If you challenge the proposed action in court, you may be limited to raising only those issues you or someone else raised at the public hearing described in this notice, or in written correspondence delivered to the Planning Commission at, or prior to, the public hearing.

Report(s) are typically available six days in advance of the meeting and can be viewed on the City’s website, under the Public Meeting Agendas web page: https://www.slocity.org/government/ mayor and city council/agendas and minutes. Please call The Community Development Department at (805) 781-7170 for more information, or to request an agenda report. The Planning Commission meeting will be televised live on Charter Cable Channel 20 and live streaming on the City’s YouTube channel www. youtube.com/CityofSanLuisObispo

May 29, 2025

You have the power to change this.

1 in 4 women have experienced rape, physical violence, or stalking by a partner—that’s over 35,000 women in San Luis Obispo County. Nearly 13,000 children here have been exposed to domestic violence.

These are our neighbors—real people seeking safety and healing. Without support, the cycle continues.

With federal funding at risk, nearly half our budget hangs in the balance—your donation helps survivors find safety, healing, and hope.

Donate Now:

This June is the last time the Pride flag will be raised in front of Morro Bay City Hall.

After a unanimous decision by the Morro Bay City Council, only the national, state, and city flags will fly before the city building. The council said it aims to represent the entire community, although the decision was made amid both local and federal tensions within and surrounding the LGBTQ-plus community. Members of San Luis Obispo County’s queer community urged the council to reconsider the change at its May 13 meeting, just weeks before the start of Pride Month.

“Local support matters and we deserve to be celebrated, even if it’s the bare minimum of flying flags at Pride Month,” one speaker, named Jen, told the council. “We aren’t going anywhere despite the attempts to erase us.”

Newly elected City Councilmember Jeff Eckles proposed the idea on April 22. Although he didn’t mention the Pride flag specifically, he suggested the city amend its current flag ordinance, which was established in 2022 allowing the city to fly commemorative flags, including a resolution

that allowed the city to fly the Pride flag at City Hall during the month of June.

Eckles said the flagpole should stand for all groups and not be used for “political or cultural statements that divide the city.” The City Council unanimously agreed, passing the ordinance on May 13.

SLO County has been no stranger to division over LGBTQ-plus issues in recent years. Some cities faced public backlash for opting to fly the rainbow flag, while others came under fire for deciding to be more “neutral” when it comes to displaying or proclaiming certain interest groups.

Last June, the city of Atascadero refused to proclaim June as Pride Month—neither would it proclaim any month for any group.

Current 5th District SLO County Supervisor Heather Moreno, who was the city’s mayor at the time, said it was an opportunity for the city to focus more on government services.

Arroyo Grande’s City Council was inundated with public comments against raising the Pride flag in June two years in a row but ultimately decided to keep it flying. Some area residents criticized the

council, with two-time mayoral candidate Gaea Powell accusing the council of “engaging in an unethical deceptive tactic that manipulates the U.S. Supreme Court’s doctrine and should consider resigning.”

At Morro Bay’s May 13 meeting, Councilman Eckles addressed upset attendees but remained adamant that flying the three flags was “simple, neutral, and unifying.” He also addressed concerns about the timing of the proposal.

“I didn’t intend for the timing to be right before Pride Month,” he said, and offered the compromise of the new ordinance going into effect on July 1.

Chuckles from the audience caused Mayor Carla Wixom to ask for respect.

“You know it’s interesting, I am a public servant and someone said that public servants have a high call of honor and duty and that’s to listen to you,” Eckles said. “You can believe what we are saying or not, that’s your prerogative, but I can tell you I am speaking from the heart. I do believe this will unite the community. I believe that commemorative flags take us down a path of tribalism and separates the community further and further.”

Eckles promoted dialogue and said he had been accused of not answering emails.

“I know that I respond to every single email that I receive, … I’m proud of the fact that I have done that.”

New Times contacted Eckles for a statement, but did not receive a response before publication.

Despite public opposition, some agreed with Eckles and commended the ordinance’s ability to unify and represent all Morro Bay residents.

One speaker said she wasn’t sure if her opinion would be valued that evening, but she loved all people.

“I love gay people; I love Black people; I love soldiers who have died for us; I love autistic humans; I love humans with type 1 diabetes; I love Black people,” she said. “My point is, I believe that our American flag encompasses all of us, and like I said, my belief might not be popular, but I believe that that American flag shines for all of us. … If we exclusively fly one flag over another flag, then we are discounting that. It’s time for all of us to

stand up and fly the American flag to … encompass everyone.”

Gala Pride and Diversity Center Program manager Linnea Valdivia said she did not view these flags as inclusive.

“A lot of people who opposed the [Pride] flag flying were very insistent that the three flags that Morro Bay currently flies—the American flag, the state flag, and the city flag—represent all people, and while I think that is a really noble idea, I don’t think that’s actually reflective of people’s ability to participate and see themselves reflected in how this country operates,” she said.

Among people of color, the queer community, immigrants, and Native Americans, Valdivia said they aren’t “represented or protected by those flags, and to fly commemorative flags to acknowledge folks that have historically had their rights not respected … doesn’t take from anybody.”

She also accused Eckles of dismissing the queer community’s concerns.

“Jeff hosted two town halls to talk about this issue. I attended the town hall, and he gave a pretty dismissive answer to my concern, saying that … ‘a City Council could elect to fly the Nazi flag, and we wouldn’t want that.’ And I was like, ‘Well, that seems like the worst-case scenario.’”

Valdivia said that Eckles didn’t name a specific reason why having the Pride flag would be a problem.

Despite the city’s decision, not flying a Pride flag over Morro Bay’s City Hall in 2026 won’t take away from what Pride truly means for the queer community, Valdivia said.

“This does not mean that Pride is over— Pride is not about rainbows and glitter. It is a prior protest, and Pride this year and every year since, is a celebration of all the progress that has been made for queer folks by queer folks in this country,” she said. “We’ve all seen How the Grinch Stole Christmas, the presents and the trees don’t make Christmas what it is—a rainbow flag does not make Pride what it is—and the celebration of our resilience, the celebration of our community, will still continue whether or not there is a flag flying over Morro Bay.” ∆

Reach Staff Writer Libbey Hanson at lhanson@newtimesslo.com.

SIMPLE,
flag

Let’s stop targeting trans people and focus on real issues

At a recent school board meeting, I stood up to speak—not to argue, but to ask our community to refocus on the real challenges facing our students. What I witnessed that night was deeply troubling: a growing effort to target trans students and trans athletes, often based on fear, misinformation, and political rhetoric. We owe it to ourselves—and especially to our youth—to do better.

Let’s start with the argument I heard more than once: “Men should not compete against women.” On that, we agree. Men and women have biological differences that, in competitive sports, require clear boundaries to ensure fairness. But trans women are not “men competing against women.” They are individuals who, after deep personal struggle, have made the extremely difficult decision to transition— often after years, even decades, of psychological distress and marginalization.

Transition is not something anyone undertakes lightly. It typically involves rigorous mental health evaluations, hormone therapy, and often significant social and medical risks. Trans women who undergo hormone replacement therapy experience a dramatic decrease in testosterone levels—reducing muscle mass, strength, and endurance to levels much closer to those of cisgender women. Sports organizations like the NCAA and the International Olympic Committee have developed guidelines around these

Atascadero schools have many options to allow rural students to stay rural Carrisa Plains Elementary, located in rural eastern San Luis Obispo County, once operated as a K-8 school. Today, students in grades six through eight are bused nearly 100 miles each day to Atascadero Middle School. This long commute affects both learning time and student well-being—despite existing options that would allow those grades to remain on-site.

We’ve proposed three solutions to bring middle school education back to Carrisa Plains:

• Restore sixth grade using a credentialed multi-subject teacher, as permitted under state law.

• Offer a virtual learning option for sixth through eighth graders on the Carrisa Plains campus, providing academic continuity and keeping students close to home while maintaining vital peer interaction.

• Pursue state waivers to meet credentialing requirements for seventh and eighth grade instruction, allowing flexibility in rural school staffing, as these grades typically require singlesubject credentialed educators.

The Atascadero Unified School District has not yet offered a clear explanation as to why these options cannot be implemented, nor have they proposed any viable alternatives. While funding has been mentioned as a concern, available

transitions for exactly this reason: to balance fairness with inclusion.

Another concern I heard was that trans people—particularly trans women—make locker rooms unsafe for women. Let me be clear: there is no credible evidence that trans people pose a danger to others in public restrooms or changing areas. In fact, trans people themselves are far more likely to be the targets of violence and harassment in these spaces. Suggesting that trans women are a threat reinforces dangerous stereotypes and ignores the real problem: the culture of misogyny and violence that already exists—and that no trans person created.

If safety is truly our concern, we should be talking about how to prevent sexual harassment, enforce consent education, and build respectful spaces for everyone. Frankly, most women would feel far safer in a locker room with a trans woman than with a certain male politician who has bragged about sexually assaulting women—and still holds office.

We can and should continue to have thoughtful discussions about fairness in sports. But let’s base those conversations on science, compassion, and truth—not fear. Let’s stop punching down one of the most vulnerable groups in our community and start lifting all people up.

information suggests that the policy, infrastructure, and state flexibility provisions all support the return of grades sixth through eighth to Carrisa Plains.

Adriane Twisselman president and spokesperson Carrisa Plains parents, teachers, and friends

SLO County supervisors have lost my confidence

I have to agree with Aaron Ochs’ opinion piece on 3rd District Supervisor Dawn Ortiz-Legg (“SLO County Supervisor OrtizLegg missed the mark by honoring Mike Brown,” May 15). No one who deliberately and continuously disrupts a public meeting should be applauded. Ms. Ortiz-Legg represents the district where I reside, but she certainly does not represent my opinions. She lost my vote and confidence when she voted to approve the Dana Reserve, destroying more than 4,000 mature oak trees and the habitat they helped to preserve. How many habitats like this do we have to give up? Can it be replaced? Why couldn’t the developer modify his plans? I also believe 4th District Supervisor Jimmy Paulding was wrong to request an exemption for fireworks sales in Oceano (“Oceano residents asked to be carved out of new county fireworks ordinance,” May 15). While the church he wants to support uses the fireworks money for a good cause, it is also very dangerous. You have a church selling

something that is dangerous, no matter what they call it (safe and sane) to the environment and to people, especially children. We live in an area that is extremely dry in July, almost anything can set off a dangerous fire. Everything in our environment and world is changing, so why not change the way we celebrate our Independence Day. Why isn’t it enough to have parades, good food, music, friends, and allow the professionals to set off the fireworks? Sometimes common sense needs to prevail.

Sharon Roberts San Luis Obispo

I’m

proud that Lucia Mar’s launching an aviation CTE pathway

I wanted to take a moment to share a very positive and exciting development that we can all be proud of. The San Luis Obispo County Department of Airports and the Lucia Mar Unified School District have partnered to launch a new aviation career and technical education (CTE) pathway at Arroyo Grande High School, set to begin in the 2025-26 school year.

I truly appreciate Courtney Johnson, director of airports, whose vision has been a driving force in bringing aviation deeper into our community. Her leadership has not only expanded flight options but opened doors for local students to pursue real career paths. I view her as a model of a public servant, pursuing both infrastructure and opportunity. This new program is a testament to her belief in building systems that serve the future. I also want to acknowledge Dr. Paul Fawcett, superintendent of Lucia Mar, and Kristin Anderson, the district’s CTE coordinator, for supporting this effort and helping turn the vision into a program that will be in the classroom next year. The Lucia Mar school board also deserves credit for recognizing the value of aviation education and backing its implementation.

The idea began when I heard a community member say, “The airport isn’t connected to the community.” That stuck with me. I started asking the question: How do we change that? In aviation circles, I had been following the work of the Bob Hoover Academy in Salinas, the brainchild of airshow legend Sean Tucker. Their program uses aviation to motivate and uplift at-risk youth. It struck me as the answer we were looking for. I shared the idea with Mayor Caren Ray Russom, who immediately saw its potential and connected me with Dr. Fawcett. That early conversation helped set the course for what is now a program ready for students right here in South County. As someone who started flying at a young age, and who learned to fly at the Oceano Airport, I know how aviation can shape a life. I soloed on my 16th birthday and have been flying professionally now for more than 30 years. Seeing this program become reality is deeply meaningful. It is exactly the kind of hands-on, forward-thinking opportunity we need more of, where local leaders come together and students walk away with something real. I cannot wait to see these young aviators soar.

What’s your favorite type of summer fun?

43% All the outdoor adventures—hiking, biking, surfing, beaches, etc.!

22% Family vacations!

22% Anything in the arts—festivals, plays, concerts, etc.

13% Everything related to food and drink.

The runaround

Morro Bay’s been doing things in a rather roundabout way lately (rim shot, please).

In a literal sense, the city is thinking about maybe allowing Caltrans to possibly build another traffic circle on its streets, this time at the intersection of Main Street and highways 1 and 41. The first phase of the project—one of the invisible, expensive phases buried in bureaucracy—was humming right along until April 22. That’s when the City Council caught wind of some concerns and hit the brakes.

Said concerns were about safety and traffic flow, which roundabouts are designed to address. Their knee-jerk response, though, was premature (as is often the nature of such jerks). The report the city was working on was phase 1: environmental impact. Not traffic flow and safety—those don’t get discussed until at least phase 3, maybe 4, and probably, if the public gets its say, at every step of the way until the roundabout gets built and someone hates it enough to sue over it. But I digress.

Before the roundabout idea died a premature paper death, the SLO Council of Governments offered to finish the report, if the city still paid for it. Having already sunk $350K into the study, Morro Bay agreed to pay the remaining $81K to at least keep looking at just the environmental issues.

No green lights were given, no dirt’s being moved, so hold on to your ifs, ands, or butts.

Mayor Carla Wixom has historically been against a roundabout at this very intersection but had some things to say to the roundabout doubters.

“We want things that bring us together, not divide us, and so everybody’s very impassioned with their positions on this, and most of it really comes back to the concerns for safety for pedestrians and bike riders,” she told New Times. “Right now, that’s not the phase we’re at. So, unfortunately, the process is that you’re going to move to that phase— which means you spend more money. So there’s more time, commitment, and money to decide if a year or two from now, when it comes back in that design phase, do we accept this project?”

Seriously, though, why do people hate roundabouts so much? They’re fun! Maybe, just maybe, drivers don’t hate the roundabouts. It’s the asshats who don’t know how to drive around a circle who are to be detested.

Moving on. In a less literal traffic-circle sense, the city’s been going round and round about its flag ordinance. Way, way back in 2022, Morro Bay established an ordinance

allowing the city to fly commemorative flags at City Hall. Under that banner was a proclamation that allowed the city to raise the Pride flag in June for Pride Month. It was a proud moment.

But the city revisited that ordinance this April—less than two months before Pride Month, by the way—and voted unanimously on May 27 to no longer fly flags in honor of specific communities. The reason? To make sure the flag pole isn’t used to make “political or cultural statements that divide the city,” according to Councilmember Jeff Eckles, who introduced the ordinance change, and who, make of this what you will, was on the board of the Gala Pride and Diversity Center (formerly GALA) in and around 2019.

And now, this really gets my gears in a grind, it’s the shit-talkers, the loudmouths, and the haters who’ve been dumping on the rainbow flag (sometimes literally—I’m looking at you Paso High) who can claim victory here.

According to Gala Pride and Diversity Center’s current program manager, Linnea Valdivia, the three flags that Morro Bay is allowed to fly, namely those of the nation, state, and city, don’t represent everyone. “I don’t think that’s actually reflective of people’s ability to participate and see themselves reflected in how this country operates,” she told New Times

She said that she attended a town hall meeting on the issue that Eckles hosted. In response to her questions about not flying commemorative flags, she said he basically told her that a city council could “elect to fly the Nazi flag, and we wouldn’t want that.” Why invoke the Nazi thing? That basically politicizes the matter and shuts down any potential for a valid discussion of the issue. And a bigger conversation seems warranted. Wouldn’t it be better to sit down and discuss which flags to fly and just raise a different flag each month?

“You can believe what we are saying or not, that’s your prerogative, but I can tell you I am speaking from the heart. I do believe this will unite the community. I believe that commemorative flags take us down a path of tribalism that separates the community further and further,” Eckles said, before defending his record of responsiveness. “I know that I respond to every single email that I receive.”

Hmm, seems like this bayside burg prides itself on being sensitive about division. We were poised to ask Eckles about where he’s coming from, but he didn’t respond to our reporter’s email. ∆

The wheels on the Shredder go round and round. Send windshield wipers to shredder@newtimesslo.com.

Hot Dates

ARTS

NORTH COAST SLO COUNTY

BASICS OF SILVERSMITHING

WORKSHOP: MAKE STERLING

SILVER RINGS CLASS Join this beginner friendly workshop to learn the fundamental techniques of silversmithing. You’ll discover how to form, forge, solder, and finish six to eight beautiful hammered rings. May 31 3-6 p.m. $100. (805) 935-9046. sea-n-green. com. Sea + Green, 2380 Main St., unit F, Cambria.

BOOK SIGNING WITH AWARDWINNING LOCAL AUTHOR DEBBIE

NOBLE BLACK Debbie Black will sign copies of Deetjen’s Closet plus newlyreleased The Old Secret at Hotel Oregon both in her lightly haunted series for ages 8-12. June 7 1-3 p.m. Free. Coalesce Bookstore, 845 Main St., Morro Bay, coalescebookstore.com/.

COASTAL PAINTING FUN There will be step-by-step instructions to create a Cambria Coastal masterpiece. No experience is necessary. Saturdays, 12-2 p.m. through June 21 $60. (805) 395-0386. coastalwineandpaint.com. Harmony Cafe at the Pewter Plough, 824 Main St., Cambria.

COASTAL WINE AND PAINT PARTY

Listen to music while enjoying an afternoon of creativity, sipping, and mingling. The party includes a complimentary glass of wine and canvas with materials. Saturdays, 12-2 p.m. $55. (805) 394-5560. coastalwineandpaint.com. Harmony Cafe at the Pewter Plough, 824 Main St., Cambria.

FIBER AND TEXTILES BY DEBBIE

GEDAYLOO Gedayloo’s richly textured and touchable fiber, felt, and mixed media art depicts dimensional landscapes and objects. May 29 -June 29, 11 a.m.-5 p.m. Free. (805) 772-1068. galleryatmarinasquare.com. Gallery at Marina Square, 601 Embarcadero suite 10, Morro Bay.

FREEPHOTOGRAPHY

DEMONSTRATION Art Center Morro Bay is offering a demonstration with photographer Barry Goyette. Don’t miss out. June 7 3-5 p.m. Free. (805) 7722504. Art Center Morro Bay, 835 Main St., Morro Bay, artcentermorrobay.org.

IMAGINATIVE CERAMICS BY ANNE

GRANNIS Grannis’ imaginative and hilariously precise sculptural ceramics merge human and animal forms with whimsical storytelling. May 30 -June 29, 11 a.m.-5 p.m. Free. (805) 772-1068. galleryatmarinasquare.com. Gallery at Marina Square, 601 Embarcadero suite 10, Morro Bay.

UNCORK YOUR CREATIVITY: COASTAL WINE AND PAINT PARTY Offering a unique opportunity to sip wine while painting stunning ocean-inspired landscapes. All materials included. Saturdays, 12-2 p.m. $60. (805) 394-5560. coastalwineandpaint.com. Harmony Cafe at the Pewter Plough, 824 Main St., Cambria.

NORTH SLO COUNTY

“SPLASH INTO SUMMER” Check out the three-month water focused exhibit “Splash Into Summer” which will inspire you to cool you down over the hot summer months. June 7 6-9 p.m. Free. (805) 2864430. Park Street Gallery, 1320 Park Street, Paso Robles, parkstreetgallery.com.

3 ARTISTS RETROSPECTIVE REVEAL

Susan Lyon, Maryanne Nucci, and Kathy Madonna invite you to visit their Retrospective Show including original photographs, charcoals, watercolors, etchings, linocuts, and mono prints. Saturdays, 2-5 p.m. (805) 440-7152. cottontailcreek.com/susanart. Pocket Gallery on Pine, 8491/2 13th Street, Paso Robles.

ART HISTORY PLATE SERIES: FIRST CLASS IMPRESSIONISM Create four 8” x 8” fused glass plates inspired by four art movements. There will be a brief overview and samples of art to emulate during each time period. May 31 , 10 a.m.-12:30 p.m. $400. (805) 464-2633. glassheadstudio.com. Glasshead Studio, 8793 Plata Lane, Suite H, Atascadero.

BEGINNING IMPROV CLASSES Join Top Grade Comedy Theater for beginning improv classes. First Monday of every month, 6-8 p.m. through Jan. 2 $15. (805) 242-1443. Saunter Yoga and Wellness, 5820 Traffic Way, Atascadero.

FIRST SATURDAY: ART AND WINE On the first Saturday of each month, attend for the venue’s exhibit openings, with live music, art, and wine available for purchase. First Saturday of every month, 6-9 p.m. through Sept. 6 Free (wine $10). (805) 238-9800. studiosonthepark.org. Studios on the Park, 1130 Pine St., Paso Robles.

IN YOUR DREAMS See a collection of black and white illustrations by Storie Grubb. Through June 29 Free. (805) 2389800. studiosonthepark.org/events/ in-your-dreams/. Studios on the Park, 1130 Pine St., Paso Robles.

MONTHLY BIRTHDAY PLATE PAINTING AT ARTSOCIAL 805 Please join

COOL ART

The watercolor paintings of award-winning artist Liz Moore will be on display at Park Street Gallery in Paso Robles from early June to August. The three-month water exhibit titled Splash Into Summer inspires viewers to cool down during the upcoming hot summer months. Visit parkstreetgallery.com for additional details. —Angie Stevens

ArtSocial805 on the first Saturday of each month to paint a personalized “Birthday Plate,” for someone special or for yourself. The workshop is $35, which covers the plate, glaze, and firing. First Saturday of every month, 11 a.m.-7 p.m. $35. (805) 400-9107. artsocial805. com. ArtSocial 805 Creative Campus, 631 Spring St., Paso Robles.

THE STARRY NIGHT PLATE Inspired by Van Gogh’s painting, create a 5” x 5” fused glass plate using glass shards. The project can be kept flat as a sun catcher. June 7 10 a.m.-noon $60. (805) 464-2633. Glasshead Studio, 8793 Plata Lane, Suite H, Atascadero, glassheadstudio.com.

WRITERS WANTED Novelists, screenwriters, poets , and short story writers welcome. This group meets in Atascadero twice a month, on Thursday nights (email jeffisretired@ yahoo.com for specifics). Hone your skills for publication and/or personal development. First Thursday of every month, 7-9 p.m. Unnamed Atascadero location, Contact host for details, Atascadero.

SAN LUIS OBISPO

ART AFTER DARK Art After Dark features an art opening of world-class artists. Refreshments will be served. First Friday of every month, 5-8 p.m. through March 7 Free. slocountyarts. org/art-after-dark. SLO County, Various locations countywide, San Luis Obispo.

ART, WINE, AND KITTENS Wander through the gallery of stunning artworks, from original oil paintings to fine art prints and postcards. Meet the artists, Drew Davis and Marina Marsh, and find the perfect art piece to take

home while petting kittens. Get more info at the link. June 6 , 5-8 p.m. Free. my805tix.com. Drew Davis Fine Art, 393 Pacific St., San Luis Obispo.

ARTIST RIKI SCHUMACHER AT ART CENTRAL GALLERY Schumacher’s work is pensive and introspective, inspiring one to take a solitary walk on a cloudy day. Wander in to reflect on her “delicious, wistful landscapes.” Mondays-Saturdays, 10 a.m.-5 p.m. and Sundays, 12-4 p.m. Free. (805) 747-4200. artcentralslo.com/gallery-artists/. Art Central, 1329 Monterey St., San Luis Obispo.

DEANNA BARAHONA California artist Deanna Barahona’s work centers her lived experiences, identity, and personal objects in intimate and domestic spaces through the creation of sculpture, and installation. June 6 - Aug. 31 11 a.m.-5 p.m. Free. (805) 543-8562. sloma.org/ exhibition/deanna-barahona/. San Luis Obispo Museum of Art, 1010 Broad St., San Luis Obispo.

FIRST FRIDAYS Visit SLOMA on the first Friday of each month for exhibition openings, music, and wines provided by regional winery partners. Admission is free and open to the public. First Friday of every month, 5-8 p.m. Free. (805) 5438562. sloma.org/events/first-fridays/. San Luis Obispo Museum of Art, 1010 Broad St., San Luis Obispo.

FLEISCHER CARTOONS Join for a special showcase of the Max Fleischer Superman cartoons on the big screen! There will also be a Q&A with Max Fleischer’s granddaughter, Jane Fleischer Reed. May 31 7-9 p.m. $12. slofilmcenter.eventive.org. Palm Theatre, 817 Palm St, San Luis Obispo.

FRIENDS OF THE ARROYO GRANDE

LIBRARY ART AUCTION The first ever art auction fundraiser for Friends of the AG Library is now live. Includes work by local artist Ellen November. Every 30 days, 9 a.m. Various. (310) 384-6912. app. galabid.com/aglibrary/items. Online, See website, San Luis Obispo.

JAPANESE CALLIGRAPHY AND ART Owen and Kyoko Hunt from Kyoto, Japan

offer classes for Japanese calligraphy (Fridays, 5:30-6:30 p.m.), a Japanese art called “haiga” (Fridays, 10-11:30 a.m.) and more at Nesting Hawk Ranch. Fridays $45. (702) 335-0730. Nesting Hawk Ranch, Call for address, San Luis Obispo. LEARN TO WEAVE MONDAYS An opportunity to learn how a four-shaft loom works. You will get acquainted as a new weaver or as a refresher with lots of tips and tricks. This class includes getting to know a loom, how to prepare/ dress a loom, and much much more. Mondays, 1-4 p.m. $75 monthly. (805) 441-8257. Patricia Martin: Whispering Vista Studios, 224 Squire Canyon Rd, San Luis Obispo, patriciamartinartist. com.

MOBILE CLAY CLASSES Offering handbuilding, throwing, and ceramic decorative arts. All ages and abilities are welcome. Call for more info. ongoing (805) 835-5893. hmcruceceramics. com/book-online. SLO County, Various locations countywide, San Luis Obispo. NOTES FOR TOMORROW Features artworks from around the world, brought together to reflect on a new global reality ushered in by the COVID-19 pandemic. Through June 1, 11 a.m.-5 p.m. Free. (805) 543-8562. sloma.org/ exhibition/notes-for-tomorrow/. San Luis Obispo Museum of Art, 1010 Broad St., San Luis Obispo.

THE PIRATES OF PENZANCE Central Coast Gilbert and Sullivan proudly presents one of the duo’s most famous operas. June 7, 3 p.m. and June 8 , 3 p.m. $25-$30. (805) 546-3198. Harold J. Miossi CPAC at Cuesta College, Highway 1, San Luis Obispo.

PLEIN AIR PAINTERS OF THE CENTRAL COAST A self-directed fun group of dynamic artists who enjoy painting and sketching outdoors. Artists meet on site at various locations. Weekly plein air destinations are provided by Kirsti Wothe via email (mrswothe@yahoo.com). Wednesdays, 9 a.m.-noon SLO County, Various locations countywide, San

Voted Best Indian Food!

INDIAN RESTAURANT

All You Can Eat Buffet with 15+ Items!

Lunch - $15.99

Mon-Sat 11:30am – 2:30pm

Monday Dinner Buffet - $16.99

5:00pm – 9:30pm

Sunday Brunch - $16.99

Served with one champagne or Lassi

• Indoor & Outdoor Dining

• Buffet Take Out

• Banquet

• Catering

• Dine Out Available

(805) 781-0766 • 3820 Broad St. Marigold Center, SLO Open 7 Days · shalimarslo.com

CITY OF ATASCADERO NOTICE OF PUBLIC HEARING

DATE: June 10, 2025

TIME: 6:00 p.m.

PLACE: City of Atascadero Council Chambers 6500 Palma Avenue Atascadero, CA 93422

NOTICE IS HEREBY GIVEN that the City Council of the City of Atascadero will hold a PUBLIC HEARING inperson at the time and place above for the purpose of the adoption of a resolution ordering a levy and collection of assessments for fiscal year 2025-2026 for Street and Storm Drain Maintenance District No. 02 (Woodridge). A copy of the draft resolution can be viewed by appointment at City Hall, 6500 Palma Avenue, Atascadero, or by contacting the Administrative Services Department at (805) 470- 3428.

NOTICE IS FURTHER GIVEN that if a challenge to the above action is made in court, persons may be limited to raising only those issues they or someone else raised at the public hearing described in the notice, or in written correspondence delivered to the Council at, or prior to, the public hearing.

ALL INTERESTED PERSONS are invited to attend inperson and will be given an opportunity to speak in favor of, or opposition to, the above-proposed project. Written comments are also accepted by the City Clerk, prior to the hearing at 6500 Palma Ave., Atascadero, CA 93422 or cityclerk@atascadero.org and will be distributed to the City Council. Written public comments must be received by 12:00 p.m. on the day of the meeting.  Email comments must identify the Agenda Item Number in the subject line of the email. Written comments will not be read into the record.  Information regarding the hearing is filed in the Administrative Services Department. If you have any questions, please call Administrative Services or visit the office at 6500 Palma Ave., by appointment only, Monday through Friday 8:00 a.m. – 5:00 p.m. All documents related to the public hearing will be available for review on the City’s website 72 hours prior to the public hearing at www.atascadero.org/agendas

DATED: May 23, 2025

S/ Jeri Rangel, Administrative Services Director

PUBLISH: 5/29/25

SATURDAY FAMILY POTTERY CLASS

This family-friendly open studio time is a wonderful window for any level or age.

Saturdays, 11 a.m. & 1:30 p.m. $40. Anam Cre Pottery Studio, 1243 Monterey St., San Luis Obispo, anamcre.com.

WHITNEY PINTELLO: SOLO SHOW On display now through mid-April. ongoing slogallery.com/. SLO Gallery, 1023 Broad St., San Luis Obispo.

YOU’RE A GOOD MAN, CHARLIE BROWN

With charm, wit, and heart, You’re A Good Man, Charlie Brown explores life through the eyes of Charlie Brown and his friends in the Peanuts gang. Wednesdays-Saturdays, 7-9 p.m. and Saturdays, Sundays, 2-4 p.m. through June 29 $20-$37. SLO Rep, 888 Morro St., San Luis Obispo, (805) 786-2440, slorep.org/.

SOUTH COAST SLO COUNTY

DANCE FITNESS ART AND CULTURE FOR ADULTS Discover dance as a form of artistic expression and exercise, using a wide range of styles and genres of music (including modern, jazz, Broadway, ethnic). Tuesdays, 4-5 p.m. $10 drop-in; $30 for four classes. (510) 362-3739. grover.org. Grover Beach Community Center, 1230 Trouville Ave., Grover Beach.

LESS MISERABLE A spoof of one of the most beloved musicals of all time. Through June 14 Great American Melodrama, 1863 Front St., Oceano.

MEAN GIRLS: HIGH SCHOOL EDITION

Presented by Coastal Performing Arts Foundation. May 30 7-9 p.m., May 31 , 2-4 & 7-9 p.m. and June 1 , 2-4 p.m. (805) 489-9444. clarkcenter.org/shows/cpaf-mean-girls/. Clark Center for the Performing Arts, 487 Fair Oaks Ave., Arroyo Grande.

NEW PLAY FESTIVAL Presented by Arroyo Grande High School Theatre Company. May 31 , 7-9 p.m. General admission $17; senior $14; student $12. (805) 489-9444. clarkcenter.org/ shows/aghs-new-play-festival/. Clark Center for the Performing Arts, 487 Fair Oaks Ave., Arroyo Grande.

SNOW WHITE AND LA BAYADERE Presented by Everybody Can DANCE and Santa Maria Civic Ballet. June 7 7-9 p.m. and June 8 , 3-5 p.m. (805) 489-9444. clarkcenter.org/shows/ ecd-snow-white-la-bayadere/. Clark Center for the Performing Arts, 487 Fair Oaks Ave., Arroyo Grande.

WORKSHOPS AND MORE AT THE LAVRA Check the venue’s calendar for storytelling workshops, lectures, movie nights, and discussions held on a periodic basis. ongoing thelavra.org/home. The Lavra, 2070 E. Deer Canyon Road, Arroyo Grande.

CULTURE & LIFESTYLE

NORTH COAST SLO COUNTY

BREATHE AND STRETCH One must be able to get down onto the floor and back up again, with ease, in order to participate in this 55-minute session. It’s specifically designed to enhance mobility and strength. Please bring a mat and some water. Mondays, 9-10 a.m. $10 per session. (415) 516-5214. Bayside Martial Arts, 1200 2nd St., Los Osos.

CENTRAL COAST SLIM DOWN Take control of food without suffering. Learn a step-by-step process to take control of overeating, cravings, and feel peace with food. Build the habits, mindset, and your unique path with results that stick. Hosted byTami Cruz (Certified Health/Life Coach) and Dana Charvet (Coach/Fitness Trainer). ongoing Call for pricing info. (805) 235-7978. gratefulbodyhealthcoaching.com. Grateful Body, 850 Shasta, Morro Bay.

CENTRAL COAST UECHI-RYU KARATE-DO

Uechi-Ryu Karate-do is a traditional form of karate originating from Okinawa, Japan. Focus is on fitness, flexibility, and self-defense with emphasis on self -growth, humility, and respect. Open to ages 13 to adult. Beginners and experienced welcome. Instructor with 50 years experience. For info, call 805-215-8806. Tuesdays, Thursdays, 6-7:30 p.m. Morro Bay Community Center, 1001 Kennedy Way, Morro Bay, 772-6278, morro-bay.ca.us.

CENTRAL COAST WOOD CARVERS Learn the art of wood carving or wood burning. Join Central Coast Wood Carvers in Morro Bay at St. Timothy’s. Open for beginners, intermediate, or advance. Learn a wide range of techniques and skills. Tuesdays, 9 a.m.-1 p.m. Free. St. Timothy’s Catholic Church, 962 Piney Way, Morro Bay, (805) 772-2840, sttimothymorrobay.org/index.html.

CO-DEPENDENTS ANONYMOUS

MEETING Co-Dependents Anonymous (CoDA) is a Twelve Step recovery program for anyone who desires to have healthy and loving relationships with themselves and others. Meeting is hybrid (both in person and on Zoom). For information, call 805-900-5237. Saturdays, 1-2:15 p.m. Free. thecambriaconnection.org/. Cambria Connection, 1069 Main St., Cambria, (805) 927-1654.

LEARN TO SAIL AT MORRO BAY YACHT

CLUB Learn to sail at the Morro Bay’s only sailing school, with the goal of getting comfortable commanding your own sailboat. There will be a focus on teamwork, developing leadership skills, and having fun. Register at the link. Through Aug. 3 $450. my805tix.com. Morro Bay Yacht Club, 541 Embarcadero, Morro Bay, (805) 772-3981.

MAIDEN TO CRONE SISTER CIRCLE Connect deeply with other women. Sharing the things that are close to our hearts creates a space of shared vulnerability that leads to deep connection. First Sunday of every month, 9-11 a.m. my805tix.com. From the Roots Up Healing Studio, 2055 9th St., Los Osos. MORRO BAY METAPHYSICIANS

DISCUSSION GROUP A group of metaphysically minded individuals that have been meeting for many years now in the Coalesce Chapel. Club offers a supportive metaphysical based community. Members discuss a different topic each week. All are welcome to join. Fridays, 12:30-1:30 p.m. Suggested donation of $10-$15. Coalesce Bookstore, 845 Main St., Morro Bay, coalescebookstore.com/.

MORRO BAY MIXED MARTIAL ARTS Disciplines include advanced athletic performance fitness training, Thai kickboxing, and more. Beginners to advanced students welcome. Day and evening classes offered. Mondays-Saturdays, 8 a.m.-6 p.m. Call for more info. (805) 701-7397. charvetmartialarts. com. Morro Bay Martial Arts, 850 Shasta, Morro Bay.

OPEN FLOW: DANCE AND MOVEMENT A community of movers and shakers who come together to express themselves through dance and movement. Inspired by a variety of conscious movement modalities, Open Flow is led by Silvia Suarez and Matt Garrity, embodiment teachers who share a passion for integration through movement exploration. Wednesdays, 6:30-8 p.m. $10 (general), $5 (ages 55 and older). SilviaAthaSomatics.org. Morro Bay Community Center, 1001 Kennedy Way, Morro Bay, 772-6278.

SOCRATES DISCUSSION GROUP Have a topic, book, or article you wish to discuss with interested and interesting people? Join this weekly meeting to discuss it, or simply contribute your experiences and knowledge.

Contact Mark Plater for instructions on entering the Chapel area. Wednesdays, 10 a.m.-noon (805) 528-7111. Coalesce Garden Chapel, 845 Main St., Morro Bay.

SPRINGTIME RUMMAGE SALE Head to this huge springtime rummage sale, where household tools, books, furniture, collectables, and jewelry will be for sale. Proceeds will go to the nonprofit South Bay Seniors- People Helping People. June 6 12-4 p.m. and June 7 9 a.m.-2 p.m. (805) 528-2626. Southbayseniorspeoplehelpingpeople.com. South Bay Community Center, 2180 Palisades Ave., Los Osos.

STAY YOUNG WITH QI GONG Qi gong offers great anti-aging benefits, providing a comprehensive system for improving physical, mental and emotional health. Its roots date back thousands of years in China. Learn with certified instructor Devin Wallace. Call first. Thursdays, 10-11 a.m. $10. (805) 709-2227. Hardie Park, Ash Ave. and B St., Cayucos. Qi gong offers great anti-aging benefits, providing a comprehensive system for improving physical and mental health. Its roots date back thousands of years in China. Learn with certified instructor Devin Wallace. Call first for info and exact location. Fridays, 9-10 a.m. $12. (805) 709-2227. inner-workings. com. Los Osos, Townwide, Los Osos.

STRETCH, BREATHE, AND BALANCE Ideal for seniors, and open to everyone. Instructor Randal Bodlak takes you through specific moves to promote mobility, internal strength, and stability. Mondays, 9-10 a.m. $10 per session. (805) 528-4880. Bayside Martial Arts, 1200 2nd St., Los Osos.

TAI CHI AND QI GONG: ZEN IN MOTION

Small group classes with 2019 Tai Chi Instructor of the Year. Call for time and days. Learn the Shaolin Water Style and 5 Animals Qi Gong. Beginners welcomed. Mondays, 8 a.m.-3:30 p.m. Call for price details. (805) 701-7397. charvetmartialarts.com. Morro Bay

Martial Arts, 850 Shasta, Morro Bay. WATERFRONT MARKET MORRO BAY Enjoy the summer market, showcasing over 30 local vendors. Get more info at the link. May 31 , 10 a.m.-5 p.m. and June 1 , 10 a.m.-4 p.m. (805) 402-9437. Giovanni’s Fish Market, 1001 Front St., Morro Bay.

WEEKLY QIGONG PRACTICE AT FITNESSWORKS MORRO BAY Calm your mind and nourish your joints with a weekly Qigong practice led by Mike Raynor of Tai Chi Rejuvenation. The practice is rooted in Qigong fundamentals, and standing/ moving meditations. Forms include: Eight Brocades, Five Elements, Shibashi 18, and Tai chi 24. Saturdays, 10:45-11:45 a.m. Members free; non-members $8-$10. (805) 772-7466. fitnessworksmb.com. FitnessWorks, 500 Quintana Rd., Morro Bay.

YOGA PLUS A hybrid of yoga and “stretching” techniques that yield a body that moves and feels amazing. Mondays, 11:30 a.m.-12:30 p.m. $10 per session. (415) 516-5214. Bayside Martial Arts, 1200 2nd St., Los Osos.

ZEN IN MOTION Learn the Shaolin Water Style and other deep breathing and moving meditation techniques with the 2019 Taijiquan Instructor of the Year. Beginners Welcome. Instructor Certification Courses available.

MINDFUL FESTIVAL

The Central Coast Conscious Community presents the Conscious Fest on Saturday, May 31, from 11 a.m. to 5 p.m. at Sunken Gardens in Atascadero. The day will be filled with nourishing experiences, community classes, vendors, live music, and sacred ceremonies. More information can be found at my805tix.com.

Mondays, Wednesdays Call for details. (805) 701-7397. charvetmartialarts.com. Grateful Body, 850 Shasta, Morro Bay.

NORTH SLO COUNTY

ART OF KEEPING BEES: FOR BEGINNERS AT HAMBLY FARMS Your ticket will include access to the Hambly Farms lavender fields and Art of Keeping Bees, which will cover flora and fauna, bee behaviors and colony structuring, honey harvesting, and current California regulations. Get more info at the link. June 7, 9-11 a.m. $50. my805tix.com. Hambly Farms, 1390 Grana Place, San Miguel. BALANCE FLOW Suitable for all levels. This class is meant to benefit the mindbody connection while emphasizing safe and effective alignment as well as breath awareness and relaxation. Please call to register in advance. Tuesdays, Thursdays, 4:30-5:30 p.m. $16-$22; $50 membership. (805) 434-9605. ttrtennis.com/fitness/yoga/. Templeton Tennis Ranch, 345 Championship Lane, Templeton.

CONSCIOUS FEST AT THE SUNKEN GARDENS Head to this local holistic, spiritual, and wellness festival, for a day of soul-nourishing experiences. Live music and community classes will be available, along with sacred ceremonies, mindful vendors, and alcohol-free celebration. RSVP at the link. May 31 11 a.m.-5 p.m. Free. my805tix. com. Sunken Gardens, 6505 El Camino Real, Atascadero.

FLEA MARKET AND MAKERS FAIR With vintage treasures, books, collectibles, art, jewelry, crafts, and more for sale by more than 20 vendors.. Expect bargains galore. First Saturday of every month, 8 a.m.-2 p.m. through June 7 Free to the public. Templeton Library, 1173 S. Main St., Templeton, (805) 2215372, templetonlibrary.org.

HAMBLY LAVENDER FARM GUIDED EXPERIENCE This one-hour walk about the farm immerses you in the processes of growing, harvesting, and drying this fragrant herb. Saturdays, Sundays, 10 a.m. my805tix.com. Hambly Farms, 1390 Grana Place, San Miguel. ICE CREAM ZOOFARI Join the 22nd annual Ice Cream Zoofari for unlimited ice cream, live music, family-friendly activities, and a chance to explore the zoo’s diverse animal population from around the world. June 7, 5-8 p.m. $16. my805tix.com. Charles Paddock Zoo, 9100 Morro Rd., Atascadero.

SAN LUIS OBISPO BRUSHSTROKES & BURROS: PAINTING WORKSHOP AT RANCHO BURRO DONKEY SANCTUARY Paint, sip, and support local burros at this donkey-inspired art workshop with local artist, Terry Greene. June 7, 1-4 p.m. $125. (805) 710-8445. ranchoburrodonkeysanctuary.org. Rancho Burro Donkey Sanctuary, 4855 Righetti Road, San Luis Obispo.

CAL HOPE SLO GROUPS AT TMHA Visit website for full list of weekly Zoom groups available. Mondays, Tuesdays, Thursdays, Fridays calhopeconnect.org. Transitions Mental Health Warehouse, 784 High Street, San Luis Obispo, (805) 270-3346. CENTRAL COAST DIALYSIS ORGAN TRANSPLANT SUPPORT GROUP Not faith based. All are welcome. Please wear a mask. First Saturday of every month, 9:30-11:30 a.m. St. Stephen’s Episcopal Church SLO, 650 Pismo St., San Luis Obispo.

COMPLIMENTARY SHOWERS WITH SHOWER THE PEOPLE After a short hiatus, the San Luis Obispo Library will once again be partnering with local non-profit organization, Shower the People. The shower trailer will be located between the library and parking structure. Toiletries provided. Sundays, 1-3 p.m. Free. San Luis Obispo Library, 995 Palm St., San Luis Obispo.

DAILY QIGONG PRACTICE For the early riser or commuter, every weekday morning. Maintain or improve concentration, balance, and flexibility. Includes weekly Friday 3 p.m. class with more practices. Led by certified Awareness Through Movement teacher. Mondays-Saturdays, 6:10 a.m. and Fridays, 3 p.m. $35/week or $125/month. (646) 2805800. margotschaal.com/qigong. Online, See website, San Luis Obispo.

Keynote

EMBODIED ALCHEMY: A DANCE

WORKSHOP FOR DEVELOPING

EMOTIONAL INTELLIGENCE

Join for a dance workshop that will use somatic processing to liberate your authentic self and strengthen your emotional intelligence. June 8 , 1-4 p.m. $33 - $55. (206) 484-2382. Nexus SLO Ballroom D.C. (Inside the SLO Public Market), 3845 S. Higuera St. #B-1, San Luis Obispo.

EXPLORE TANGO DISCOVERY CLASS

Discover the beauty, connection, and rhythm of tango in this 2-hour class. Perfect for new or experienced dancers, no partner required. May 31 6-8 p.m.

$30. Nexus SLO Ballroom D.C. (Inside the SLO Public Market), 3845 S. Higuera St. #B-1, San Luis Obispo, (805) 904-7428.

FAMILY FREE DAY: BUZZING

BEAUTIES

Join for our monthly Family Free Day with a focus on our local pollinators. There will be crafts and educational activities. All are welcome. June 8 , 10 a.m.-2 p.m. Free. (805) 541-1400. slobg.org. San Luis Obispo Botanical Garden, 3450 Dairy Creek Rd., San Luis Obispo.

FREE TOURS OF THE MISSION Tour

San Luis Obispo’s Spanish Mission, founded in 1772. Come learn its history and about the development of this area. Tours, led by docents, are free at 1:15 p.m Monday through Saturday, and 2 p.m. on Sundays. Sundays, 2-3 p.m. and Mondays-Saturdays, 1:15-2:15 p.m. Free. (657) 465-9182. missionsanluisobispo. org. Mission San Luis Obispo de Tolosa, 751 Palm Street, San Luis Obispo.

GARDEN FOUNDER WALK AND TALK

Walk and talk with Eve Vigil in the Botanical Garden each month on the first Wednesday. Free garden tour with paid admission to the Garden. Free for members. No need to RSVP, just show up and enjoy. First Wednesday of every month, 11 a.m.-12:30 p.m. Free with $5 Garden Entry. (805) 541-1400. slobg.org.

San Luis Obispo Botanical Garden, 3450 Dairy Creek Rd., San Luis Obispo.

HANDSPRINGS AND AERIALS CLINIC

Build your skills at our Handsprings and Aerials Clinic, for children 5 to 17 of age. All skill levels are welcome. May 31 1-3 p.m. $25. (805) 5471496. performanceathleticsslo.com.

Performance Athletics Gymnastics, 4484 Broad St., San Luis Obispo.

HEALING DEPRESSION SUPPORT

GROUP A safe place to share feelings of depression with those who suffer and those who have recovered to a full, healthy outlook on life. Mondays, 6-7 p.m. Free. (805) 528-3194. Hope House Wellness Center, 1306 Nipomo St., San Luis Obispo.

HUNGER AWARENESS DAY OPEN

HOUSE SLO Food Bank welcomes the community to a Hunger Awareness Day Open House, presented by Joan G. Sargen. RSVP today at the link. June 6 , 4-6 p.m. Free. (805) 2384664. donate.slofoodbank.org/event/ hunger-awareness-day-open-houseregistration/e673886. SLO Food Bank, 1180 Kendall Road, San Luis Obispo.

LGBTQ+ FED THERAPIST LEAD

SUPPORT GROUP (VIRTUALLY VIA ZOOM) A pro-recovery group offering space to those seeking peer support, all stages of ED recovery. We understand recovery isn’t linear and judgment-free support is crucial. Share, listen, and be part of a community building up each other. First Wednesday of every month, 7-8 p.m. Free. galacc.org/events/. Online, See website, San Luis Obispo.

MELLOW YOGA FOR EVERYONE Stretch into yourself under the beautiful oaks and fresh air of this idyllic country setting. Suitable for all levels, these classes emphasize the gentler side of yoga and adapt to participants’ needs. Tuesdays, 5-6 p.m. $14 per class or $55 for five-class card with no expiration. (805) 440-4561. balancedlivingayurveda. com. Tiber Canyon Ranch, 280 W Ormonde Rd, San Luis Obispo.

MINDFULNESS AND MEDITATION

(ONLINE MEETING) Zoom series hosted by TMHA. Thursdays, 10:30 a.m.-noon Transitions Mental Health Warehouse, 784 High Street, San Luis Obispo, (805) 270-3346.

PUPPY SOCIAL HOUR Puppies (10 weeks to 5 months old) will learn appropriate play style with other pups, acceptable manners with people, tolerance for gentle restraints, confidence with the approach of friendly strangers, and more. Wednesdays, 10 a.m. and Saturdays, 9 a.m. $25. (805) 543-9316. woodshumanesociety.org/ training/. Woods Humane Society, 875 Oklahoma Ave., San Luis Obispo.

Q YOUTH GROUP (VIRTUALLY VIA ZOOM) This is a social support group for LGBTQ+ and questioning youth between the ages of 11-18. Each week the group explores personal, cultural, and social identity. Thursdays, 6-8 p.m. Free. galacc.org/events/. Online, See website, San Luis Obispo.

SLO GREEK FESTIVAL With live music, dance performances and lessons, authentic Greek food, and more. May 31 11 a.m.-7 p.m. and June 1 11 a.m.-6 p.m. $2 admission. (805) 546-8337. greekfestivalslo.com. Madonna Expo Center, 100 Madonna Road, San Luis Obispo.

SLO NOONTIME TOASTMASTERS CLUB MEETINGS Want to improve speaking and leadership skills in a supportive and positive environment? During COVID, we are meeting virtually. Contact us to get a meeting link for info. Tuesdays, 12-1 p.m. Free. slonoontime.toastmastersclubs. org. Zoom, Online, Inquire for Zoom ID.

SLO PHILATELIC SOCIETY The SLO Philatelic Society (SLOPS) meets at the SLO Senior Center on the first and third Tuesday of each month. Visitors are welcome. First Tuesday of every month, 1-3 p.m. Stamp Collector? The SLO Philatelic Society (SLOPS) meets in the SLO UMC Conference Room on the first and third Tuesday of each month. Visitors welcome. For more info, contact SLOPS at slostampclub@gmail.com. First Tuesday of every month, 1-3 p.m. (805) 801-9112. SLO Senior Center, 1445 Santa Rosa St., San Luis Obispo, slocity.org/seniors.

SLO RETIRED ACTIVE MEN: WEEKLY COFFEE MEETING SLO RAMs is a group or retirees that get together just for the fun, fellowship, and to enjoy programs which enhance the enjoyment, dignity, and independence of retirement. Thursdays, 8:30-9:30 a.m. $10 coffee meeting. retiredactivemen.org. Madonna Inn, 100 Madonna Rd., San Luis Obispo.

SLO SKIERS MONTHLY MEETING SLO

Skiers is a local sports and social club for adults. Stop by for a social hour with food and drink, followed by the meeting at 6:30 p.m. June 3 Free. sloskiers.org.

SLO Skiers, a sports and social club for adults, will host its monthly meeting, preceded by a social hour with food and drink. First Tuesday of every month, 6:30-7:30 p.m. through Dec. 2 Free; yearly membership $65. (805) 528-3194. sloskiers.org. Milestone Tavern, 972 Foothill Blvd., San Luis Obispo.

STAY YOUNG WITH QI GONG Qi Gong boosts energy and vitality, reduces stress, improves balance and flexibility, and, best of all, is fun. Join instructor Devin Wallace for this outdoor class which is held in a beautiful setting. Call or email before attending. Tuesdays, 10-11 a.m. $12. Crows End Retreat, 6430 Squire Ct., San Luis Obispo.

SUNDAY EVENING RAP LGBTQ+

AA GROUP (VIRTUALLY VIA ZOOM)

Alcoholics Anonymous is a voluntary, worldwide fellowship of folks from all walks of life who together, attain and maintain sobriety. Requirement for membership is a desire to stop drinking. Email aarapgroup@gmail.com for password access. Sundays, 7-8 p.m. No fee. galacc.org/events/. Online, See website, San Luis Obispo.

TEEN MENTAL HEALTH SUPPORT

Send event information to events@newtimesslo.com or submit online.

GROUP Learn more about mental health and coping skills to help you through your journey towards wellness and recovery. Thursdays, 4:30-6 p.m. Free. (805) 540-6576. t-mha.org. Hope House Wellness Center, 1306 Nipomo St., San Luis Obispo.

THAT’S SO DRAG DANCE PARTY AND DOCUMENTARY PREMIER Join the dance party and documentary premiere of That’s So Drag –– an electrifying night honoring the art, beauty, and power of drag. Get tickets and more info at the link. June 7, 8 p.m. $9. my805tix.com. Libertine Brewing Company, 1234 Broad St., San Luis Obispo, (805) 548-2337. TOUR THE HISTORIC OCTAGON BARN CENTER The Octagon Barn, built in 1906, has a rich history that The Land Conservancy of San Luis Obispo County looks forward to sharing with visitors. Please RSVP. Second Sunday of every month, 2-2:45 & 3-3:45 p.m. Tours are free; donations are appreciated. Octagon Barn Center, 4400 Octagon Way, San Luis Obispo, (805) 544-9096, octagonbarn.org.

TRANS* TUESDAY A safe space providing peer-to-peer support for trans, gender non-conforming, non-binary, and questioning people. In-person and Zoom meetings held. Contact tranzcentralcoast@gmail.com for more details. Tuesdays, 7-9 p.m. Free. GALA Pride and Diversity Center, 1060 Palm Street, San Luis Obispo, (805) 541-4252.

TRICKZONE (PARKOUR & TRAMPOLINE) CLINIC It’s Trickzone time. A 2-hour combo of tumbling and parkour will take your kids from timid to triumphant. All levels are welcome, 5 to 17years. June 7 12-3 p.m. $25. (805) 547-1496. performanceathleticsslo.com/ saturday-event-clinics. Performance Athletics Gymnastics, 4484 Broad St., San Luis Obispo.

SOUTH COAST SLO COUNTY

BEGINNING BALLET FOR ADULTS

Enjoy the grace and flow of ballet. No previous experience needed. Wednesdays, 5:15-6:15 p.m. $12 drop-in; $40 for four classes. (510) 362-3739. grover.org. Grover Beach Community Center, 1230 Trouville Ave., Grover Beach.

BODY FUSION/EXERCISE AND FITNESS CLASS Do something good for yourself and stay fit for outdoor sports, while enhancing flexibility, strengthening your core to prevent lower back issues, improving your posture through yoga, and more.

Tuesdays, Thursdays, 9-10:30 a.m. Free. (970) 710-1412. Avila Beach Community Center, 191 San Miguel St., Avila Beach, avilabeachcc.com.

COMMUNITY NATIVE GARDEN MONTHLY VOLUNTEER WORKDAY

Volunteers accomplish a variety of tasks including pathways maintenance, litter patrol of the garden perimeter, weeding, irrigation system expansion/repairs, pruning, and plantings. Volunteers should bring work gloves, a hat, drinking water, and tools related to the above activities. First Saturday of every month, 9 a.m.-noon Free. (805) 710-3073. Nipomo Native Garden, Camino Caballo at Osage, Nipomo.

GREEN & BLUE: A COASTAL

CELEBRATION Join the Environmental Defense Center in a beautiful garden for exciting live and silent auctions, wine, beer, food and fun! June 8 2-5:30 p.m. $125. environmentaldefensecenter.org/ gb/. Rancho La Patera & Stow House, 304 N Los Carneros Rd, Goleta, (805) 963-1622.

Omar Velasco, Antonio Barret, Nydia Gonzalez, Velvet Binx FRIDAY, JUNE 20
Restaurant & Music Club, Santa Barbara

MULTICULTURAL DANCE CLASS FOR ADULTS Experience dance from continents around the earth, including from Africa, Europe, and more. Described as “a wonderful in-depth look at the context and history of cultures of the world.” Tuesdays, 5:30-6:30 p.m. $10 drop-in; $30 for four classes. (510) 362-3739. grover.org. Grover Beach Community Center, 1230 Trouville Ave., Grover Beach.

NATIONAL ASSOCIATION OF WATCH AND CLOCK COLLECTORS, CHPT. 52

Come join a friendly meeting of watch and clock collectors. Members bring watches and clocks to show, plus there are discussions of all things horological. Second Sunday of every month, 1:30-3 p.m. (805) 547-1715. new.nawcc.org/ index.php/chapter-52-los-padres. Central Coast Senior Center, 1580 Railroad St., Oceano.

TASTE OF SUMMER

POINT SAN LUIS LIGHTHOUSE TOURS

A docent-led tour of the buildings and grounds of the historic Point San Luis Light Station. Check website for more details. Wednesdays, Saturdays pointsanluislighthouse.org/. Point San Luis Lighthouse, 1 Lighthouse Rd., Avila Beach.

SURF LESSONS ALL SUMMER LONG

Learn to surf with Sandbar Surf School. All equipment is provided, including a surfboard, wetsuit, and leash. You must pre-register. Through Aug. 31, 10:30 a.m.-12:30 p.m. $60. (805) 835-7873. sandbarsurf.com. Addie Street Surfer Parking Lot, Addie Street, Pismo Beach.

WORLD OCEANS DAY BEACH

CLEANUP Come join for a beach cleanup in Avila to celebrate World Oceans Day. Get more info at the link. June 7, 9 a.m.-noon Free. (805) 710-8021. Central Coast Aquarium, 50 San Juan St., Avila Beach, centralcoastaquarium.org.

SANTA YNEZ VALLEY

The Los Olivos Rotary Club presents its 19th annual Jazz and Olive Festival on Saturday, June 7, from 1 to 4 p.m. at Lavinia Campbell Park. Spend the afternoon tasting wine and delicious foods while strolling throughf the Santa Ynez Valley. Live jazz will be performed by The Alan Satchwell Quintet. Tickets are available at jazzandolivefestival.org.

more. Second Sunday of every month, 11 a.m.-1 p.m. $50. (805) 772-2128. chabliscruises.com. Chablis Cruises, 1205 Embarcadero, Morro Bay.

CLUB CAR BAR TRIVIA WITH DR. RICKY Teams of one to six people welcome. Visit site for more info. Wednesdays, 7-10 p.m. my805tix.com.

Club Car Bar, 508 S. Main St., Templeton.

TACO TUESDAYS La Parilla Taqueria will be in the courtyard serving up their delicious tacos and tostadas. Menu typically includes barbacoa, chicken, and pastor tacos, as well as shrimp ceviche tostadas. Tuesdays, 5-8 p.m. (805) 460-6042. ancientowlbeergarden. com. Ancient Owl Beer Garden, 6090 El Camino Real, suite C, Atascadero.

ROSÉ WINE LAUNCH WITH FRIED CHICKEN AND ART: SUPPORT NATURE Rosé Release Party at Croma Vera Wines! Enjoy fried chicken, local art, and wine in support of The Land Conservancy of San Luis Obispo. June 1 , 2-5 p.m. $13-$36. (805) 946-1685. cromavera.com/blogs/news/cromavera-wines-10th-anniversary-landconservancy-of-san-luis-obispo. Croma Vera Wines, 3183 Duncan Road, Suite D, San Luis Obispo. SLO FARMERS MARKET Hosts more than 60 vendors. Saturdays, 8-10:45 a.m. World Market Parking Lot, 325 Madonna Rd., San Luis Obispo.

SLO GRANGE PANCAKE BREAKFAST

19TH ANNUAL LOS OLIVOS JAZZ AND OLIVE FESTIVAL Spend the afternoon tasting wine and delicious olive-themed dishes, while strolling in the Santa Ynez Valley. The Alan Satchwell Quintet will perform live jazz. Get tickets and more information now at the link. June 7, 1-4 p.m. $100. jazzandolivefestival.org/. Lavinia Campbell Park, 2398 Alamo Pintado Ave., Los Olivos.

FOOD & DRINK

NORTH COAST SLO COUNTY

MORRO BAY MAIN STREET FARMERS

MARKET Get fresh and veggies, fruit, baked goods, sweets, and handmade artisan crafts. Come have some fun with your local farmers and artisans and enjoy delicious eats while enjoying the fresh breeze of Morro Bay. Saturdays, 2:30-5:30 p.m. Varies. (805) 824-7383. morrobayfarmersmarket.com. Morro Bay Main Street Farmers Market, Main Street and Morro Bay Blvd., Morro Bay.

WOOD-FIRED PIZZA NIGHTS Join every Friday for an unforgettable evening of fun, food, and festivities at the Pizza Nook at Cambria Pines Lodge. Fridays, 4-7 p.m. through June 27 (805) 924-3353. cambriapineslodge.com/events/onsite. Cambria Pines Lodge, 2905 Burton Dr., Cambria.

NORTH SLO COUNTY

20TH ANNUAL PASO PINOT AND PAELLA FESTIVAL Head to Templeton Park to mingle with winemakers, taste more than 20 pinots and paellas, and join in on the festival’s 20th annual celebration. Get more information and tickets at the link. June 1 , 2-5 p.m. $109. my805tix.com. Templeton Park, 550 Crocker St., Templeton.

BRUNCH IS BACK Celebrate the second Sunday of the month with brunch. Enjoy a two-hour cruise on the waterfront. Features fresh coffee, pastries, and

TASTE OF TIN CITY WALKING TOUR

Enjoy the first ever walking tour of Tin City – an industrial area just outside of downtown Paso Robles – that is home to a community of innovative and passionate producers of high-quality wines, spirits, beer, and more. Saturdays, 10 a.m.-2 p.m. $125. (805) 400-3141. toasttours.com/tour/ tin-city-walking-tour/. Toast Tours, 1722 Stillwater Ct, Paso Robles.

SAN LUIS OBISPO

DOWNTOWN SLO FARMERS MARKET Thursdays, 6-9 p.m. Downtown SLO, Multiple locations, San Luis Obispo.

HEAD GAMES TRIVIA NIGHT Live multimedia trivia every Wednesday. Free to play. Win prizes. Teams up to six players. Wednesdays, 6:30-8:30 p.m. Free. headgamestrivia.com. Antigua Brewing, 1009 Monterey St., San Luis Obispo, (805) 242-1167.

IMPROV COMEDY SHOWS

All the

improv you see will be on the spot from your audience suggestions. First Thursday of every month, 6 p.m. (805) 540-8300. my805tix.com. Bang the Drum Brewery, 1150 Laurel Lane, suite 130, San Luis Obispo.

LUNCHTIME IN THE GARDEN The UC Master Gardener SLO demo garden is open to the public. Bring your lunch, tour the garden, and ask questions. See what’s in bloom. First Wednesday of every month, 11:30 a.m.-1:30 p.m. through Sept. 3 Free. (805) 781-5939. ucanr.edu/ sites/mgslo/. Garden of the Seven Sisters Demonstration Garden, 2156 Sierra Way, San Luis Obispo.

PIÑATAS ON THE PATIO What is more festive than a piñata? Join for some brunch drinks and a couple of good hits to a piñata (or two). Good times and goofy prices promised. Turns will be determined on a first come, first served basis. First Sunday of every month Free. SLO Public Market, South Higuera Street, San Luis Obispo.

Join the SLO Grange Hall for a good oldfashioned pancake breakfast. Pancakes, bacon, eggs, juice, and coffee will be served, and proceeds will benefit local non-profits. Second Sunday of every month, 8-11 a.m. through April 13 $10. (805) 543-0639. slogrange.org. San Luis Obispo Grange Hall, 2880 Broad St., San Luis Obispo.

SUMMER SIPPIN’ AT THE MONDAY CLUB SLO Join for tastings with eight wineries and one brewery, along with appetizers, raffle prizes, and music from Teri Lawless at the beautiful clubhouse and gardens. Get more info at the link. June 8 4-7 p.m. $100. themondayclubslo. org. The Monday Club, 1815 Monterey St., San Luis Obispo, (805) 541-0594.

SOUTH COAST SLO COUNTY MONTHLY FERMENTATION CLASSES Join to expand your knowledge of the fermentation process and get started fermenting at home. We alternate between demonstration and hands-on classes. Second Sunday of every month, 3:30-5 p.m. $30-$50. (805) 801-6627. kulturhausbrewing.com/classes/. New topics each month with a thorough demo and explanation of the process that creates non-alcoholic, probiotic, and nutrient-dense fermentations. Leave the class confident and prepared with recipes to make your own at home. Limited seating; reserve spot prior to class by phone/email. Second Sunday of every month, 3:30-5 p.m. $30. (805) 8016627. kulturhausbrewing.com/classes/. Kulturhaus Brewing Company, 779 Price St., Pismo Beach.

TRIVIA NIGHT Join BrainStew Trivia for a hilariously witty evening of trivia in Pismo. Teams of 1 to 4 people. Prizes awarded to the first and second place teams. Kitchen is open until 7:30 p.m. for brain fuel. Beer, cider, wine, and non-alcoholic options available. First Thursday of every month, 6:30-8 p.m. Free to play. (805) 295-6171. kulturhausbrewing.com. Kulturhaus Brewing Company, 779 Price St., Pismo Beach. ∆

PHOTO COURTESY OF THE LOS OLIVOS JAZZ AND OLIVE FESTIVAL

PUBLIC NOTICE NOTICE OF PUBLIC HEARINGS

NOTICE IS HEREBY GIVEN, that in accordance with GC Section 3502.3 (Assembly Bill 2561), a public agency must once per fiscal year present the status of vacancies, recruitment and retention efforts at a Public Hearing before the adoption of an annual budget.

Upon conclusion, a second Public Hearing will be held regarding the adoption of the Fiscal Year 2025-26 budget. These Public Hearings will be conducted by the Templeton Community Services District Board of Directors at the regular Board of Director’s meeting on Tuesday, June 17, 2025, at 7:00 p.m.

All interested parties are invited to join the meeting inperson at the Templeton CSD Board Room located at 206 5th Street, Templeton CA, or call in via Zoom to participate in the hearing, provide comments, or be heard: Public Call in Number to Participate is as follows: ZOOM Phone #: 1-669-900-6833 Meeting ID: 833 1001 7294 Passcode: 986334

Or Join the Zoom Meeting at: https://us02web.zoom.us/j/83310017294?pwd=cEpS9atuo 7TKNcTuGKaAy4GbLW6Qxp.1

ADDITIONAL PUBLIC COMMENT OPTIONS: The public may also provide comment via e-mail or letters that will be distributed to the Board of Directors. E-mails may be sent to the Board Secretary at boardclerk@templetoncsd.org Letters may be mailed to the District Office at P.O. Box 780, Templeton, CA 93465. Letters may also be dropped-off at the District’s Drop-Box located outside the District Office at 420 Crocker Street, Templeton. People may also call the District Office at (805) 434-4900 to leave a message concerning items on the agenda. Public input using one of these methods must be received by Tuesday, June 17, 2025 by 3:00 p.m.

The report on vacancies will be available for inspection on the District’s website at www.templetoncsd.org

Any questions on the report or hearing may be directed to General Manager Jeff Briltz or Executive Assistant/ Board Clerk Keri Dodson at 420 Crocker St., Templeton, California, (805) 434-4900.

The budget will be available for inspection on the District’s website at www.templetoncsd.org. Any questions regarding the Templeton CSD fiscal year budget or the hearing may be directed to General Manager Jeff Briltz or Finance Officer Natalie Klock at 420 Crocker St., Templeton, California, (805) 434-4900. June 29, 2025

Council will conduct a public hearing to receive public comments on the proposed budget for the coming fiscal year, which begins July 1, 2025. The budget identifies anticipated City revenues and planned expenditures for the following budget units: General Fund, Special Revenue Funds, and Enterprise Funds, including Water and Sewer and the Capital Improvement Program.

Where You Come In:

Any member of the public may appear at the meeting and be heard on the item described in this notice or submit written comments to the City Clerk prior to the meeting by personal delivery or by mail to: City Clerk’s Office, 154 South Eighth Street, Grover Beach, CA 93433 or by email to gbadmin@ groverbeach.org. If you require special accommodations to participate in the public hearing, please contact the City Clerk’s office at least 48 hours in advance of the meeting by calling (805) 473-4567.

For More Information:

If you have any questions or would like more information regarding the item described in this notice, please contact: Administrative Services Director Nick Szamet by telephone at (805) 473-4550 or send an e-mail to nszamet@groverbeach.org; or to City Manager Matthew Bronson by telephone at (805) 4734567 or send an email to mbronson@groverbeach.org

The City Council may also discuss other hearings or items of business at this meeting. The complete meeting agenda and copy of the staff report on the above item will be posted on the City website at www.groverbeach.org. Live broadcasts of City Council meetings may be seen on cable television Channel 20, as well as over the Internet at www.groverbeach.org (click on the icon “Government Access Local Channel 20” and then “Channel 20”).

If you challenge the nature of the proposed action in court, you may be limited to raising only those issues you or someone else raised at the Public Hearing(s) described in this notice, or in written correspondence delivered to the City at, or prior to, the Public Hearing (Govt. Code Sec 65009).

/s/ Wendi Sims, City Clerk

Dated: Thursday, May 29, 2025

FRIDAY, JUNE 20 / 6PM

TICKETS START AT $55 HOLLYWOOD FIGHT NIGHTS

SATURDAY, JUNE 21 / 6PM

TICKETS START AT $55

BOYS

FRIDAY, JULY 4 / 8PM

TICKETS START AT $49 LA

FRIDAY, JULY 18 / 8PM

TICKETS START AT $59

Arts

Cal Poly Music Department hosts a high school summer music camp in July

Applications for the Cal Poly Music Department’s Summer Music Camp close on Sunday, June 15, so for high school-age musicians who want to work with Cal Poly’s talented cadre of music professors during the July 16 to 18 camp, now’s the time to sign up. It’s also a great way for high schoolers to get a small taste of the college experience.

“Participants can stay in residence halls while they engage in a variety of opportunities, including rehearsing with faculty and students in a choir, percussion ensemble, or string chamber group; having private lessons with Cal Poly instructors; sampling music classes; and much more!” the Music Department announced. Local students can save money and attend as a commuter.

“If invited to participate, you can expect the following registration costs: early bird registration ($625 by May 31); early bird commuter registration/ no housing ($325); registration ($675 by June 15); commuter registration/no housing ($375),” the Music Department explained. For commuter students, lunches are included. Visit music. calpoly.edu/summer-camp for details.

Rolling artwork:

The Classic at Pismo Beach Car Show returns

May 30 through June 1

The finest examples of Detroit steel will be on display in Pismo Beach from Friday, May 30, through Sunday, June 1, when the iconic Classic at Pismo Beach Car Show returns for its 39th annual celebration.

According to organizers, the show is “recognized as one of the largest classic car shows on the West Coast” and attracts more than 75,000 visitors as it “showcases vintage and custom vehicles along the streets and pier of downtown Pismo Beach.”

The free, family-friendly event features hundreds of cars, a Saturday opening ceremony with Color Guard, a charity auction (that benefits the Folds of Honor Foundation, the Ronald McDonald House, and the Pismo Beach K-9 Program), a Sunset Cruise Parade at 6 p.m. on Saturday, live entertainment, a beer garden, and lots of vendors.

“Pismo Beach is the epitome of a California beach town. With cliffside ocean views, a lively and walkable downtown, extensive outdoor adventures, and a laid-back vibe from the locals, visitors get the perfect balance of excitement and tranquility,” organizers said. “Parking can be limited during the event, so attendees are encouraged to stay downtown, arrive early, carpool, or use local ride services.”

Learn more at theclassicatpismobeach.com, or follow the event on Instagram @PismoBeachCA and facebook. com/pismobeachca. ∆

—Glen Starkey

Perspective

Brad Williams discovers the hilarity in everyday life

When he was 20, Brad Williams found himself in stand-up comic Carlos Mencia’s audience, and Mencia started making jokes about dwarves.

“Yeah, that is true,” Williams admitted during a recent phone call. “He didn’t notice me at rst. He noticed that the audience around me was not laughing. And he actually said the words, ‘What? Is one of them here?’ And I just raised my creepy little hand in the air and said, ‘Uh, yeah.’ And he called me up onstage. He just wanted to talk to me. He wanted to get to know me. And he asked me some questions. I answered the questions honestly. I wasn’t trying to get laughs. I wasn’t trying to be funny.

“He asked me, ‘Hey, what do you do for a living?’ And at the time, growing up and living in Southern California, I worked at Disneyland, and I said that, and the audience laughed, and I thought, ‘Well, that felt pretty good.’ But then I felt them snickering. I just turned to the audience, and I said, ‘Shut up. I’m not one of the seven.’ And that got a good laugh, and I thought, ‘Well, that felt amazing. I want that feeling over and over again.’ I went out and started doing open mic nights after that, and 21 years later, I’m playing the San Luis Obispo Performing Arts Center.”

Williams has starred in his own comedy specials Fun Size and Daddy Issues and appeared in lms such as Inside Man, Mascots, and Little Evil, as well as TV series like Underdeveloped, Robot Chicken, and Legit. He’s also appeared on e Tonight Show and Jimmy Kimmel Live, and he was the rst standup comedian to headline a Cirque de Soleil show, Mad Apple, in their 30-year history.

“I’m 41, which is about 72 in dwarf,” he said with a laugh. “Right now, I’m 21 years [doing stand-up], but it’ll be 22 years in October. Just kind of nuts. If people are just hearing about me, kind of like, ‘Oh, man, so you just popped out of nowhere.’ It’s like, ‘Nah, I’ve been at this for 21 years’—21 years to be to be an overnight success.”

Williams has achondroplasia, a form of dwar sm, and he can be very self-deprecating about it. He’s even been known to use the “M-word.”

“I use that kind of language, and I talk about it because I found out that if I go onstage and I don’t mention my dwar sm, the entire audience just stares at me like, ‘Does he know?’ And that’s weird,” he said, laughing. “For some people, I’m the rst little person that they’ve ‘met.’ So, yeah, I like to talk about it, but I can’t just do an hour of short jokes. So, we’re going to get into other topics. But I can’t not write jokes from my perspective. I can’t say like, ‘Well, I’m going to write this joke from the perspective of a 6-foot-4 white guy.’ Like, I can’t do that. I’ve never lived that life. So every topic I get into will have my perspective on it.

“But I don’t mind being honest with people and telling them about my life and pointing out things that they may not know or understand yet.”

It seems all stand-up comics must contend with hecklers, but heckling a little person seems like an extra layer of political incorrectness and impropriety. Still, Williams says it happens.

Little person, big laughs

Stand-up comic Brad Williams comes to the Performing Arts Center on Friday, June 6, as part of his Growth Spurt Tour (7 p.m.; ages 5 and older but parental discretion is advised; $42 to $80 at pacslo.org).

“All comics get hecklers. It’s a weird thing where people will tell you, ‘Well, that’s part of the job.’ And I’m like, ‘Well, yes, but it shouldn’t be.’ It should not be part of the job. I don’t know why this is the only art form where this happens, where we get the hecklers. No one tells a movie to go fuck itself. Saying hecklers are part of the job is like walking up to a masseuse and being like, ‘Well, part of your job is jerking dudes o .’ It’s like, ‘What? No, happy endings are not part of the job.’ Well, they are, but they shouldn’t be.”

Williams is married, and in one of his stand-up routines he joked, “I’m in a mixed-race relationship. My wife is half Chinese. I’m half. Some of you got that. e rest of you were like, ‘Half what? What’s the other half?’”

His wife, taekwondo instructor Jasmine Williams, is 5-foot-6, and they have a daughter, Elway (yes, named after John Elway, the former Denver Broncos quarterback).

Five-year-old Elway shares her father’s condition, and like his father, Williams is preparing her for the inevitable teasing.

“I’m writing comebacks so

Send

that when people do make fun of her—and they will at some point, it’s a part of life, part of growing up, not just being a little person, just part of being a person,” he explained. “ ere’re going to be some people that, no matter what you are, no matter what you look like, they’ll have something to say. So I’m just writing a few things so that she’ll be able to have a quick comeback—and it’s shocking how much people are not prepared for that. As a dwarf, I know what this life is, I know what to expect, and I can guide my daughter in that way.”

If you’re ready for some humorous and inspiring observations on disability, relationships, sex, race, and everyday life, Brad Williams is ready to make you laugh.

“Just know that my show is a lot of fun. I’m gonna take you on a ride. I’m gonna make you laugh. I’m gonna make you think. I might make you cry. But in the end, you’re going to leave smiling. Everything is designed so that you leave going, ‘I got my money’s worth. I had a good time.’”

Contact Arts Editor Glen Starkey at gstarkey@newtimesslo.com.

PHOTOS COURTESY OF BRAD WILLIAMS
SHARP Quick-witted observational stand-up comic Brad Williams comes to the Performing Arts Center on June 6, as part of The Growth Spurt Tour.

Going for broke

Christopher McQuarrie helms this part 2 to Dead Reckoning (2023), where Ethan Hunt (Tom Cruise) and his Impossible Missions Force must save the world from the arti cial intelligence known as the Entity, which is taking control of the world’s nuclear weapons. As soon as the Entity is able to move from the Internet to its hiding place—a secure digital bunker in South Africa—it will launch a nuclear Armageddon. Hunt and his team must retrieve the Entity’s source code from a sunken Russian sub and use the “poison pill”—malware designed by Luther (Ving Rhames)—to destroy the Entity before it’s too late. (169 min.)

Glen If you’ve never seen any of the previous Mission: Impossible lms dating back to the 1996 original, never fear. You can enjoy Final Reckoning as the pure cinematic spectacle that it is. However, if you’re a fan of the franchise, you’ll be rewarded with lots of references, ashbacks, and callbacks to previous lms. It’s a truly epic installment with incredible action sequences and stunts. e two big set pieces are a super tense scene of Hunt diving the sub wreck and a mindboggling biplane aerial scene as Hunt retrieves the source code from the Entity’s former henchman, Gabriel (Esai Morales), who hopes to control the Entity himself. Naturally, every point of the impossible operation is seconds away from failure. e lm is bloated, over the top, and bigger in every way—exactly what you’d expect from a franchise’s nal entry. ( ough is it? Kaching!)

Anna It seems pretty wild to me that someone would walk into this lm with no prior viewings of the previous six and a half, but you’re right—you could still have fun with this spectacle of a lm. e sub scene and the aerial scene played the

FRED & ROSE WEST: A BRITISH HORROR STORY

What’s it rated? TV-MA

When? 2025

FWhere’s it showing? Netflix

red and Rose—you may know their names well or not at all, but once you know their story, you’ll never forget them. The murderous British couple looked as normal as could be, but behind the Sears portrait studio photos was horrifying darkness. Terrorizing women and girls for more than 20 years, the two worked as a gruesome team to capture and torture their victims.

They were arrested in 1994, so it wouldn’t seem that a ton of new info would be popping up, but new recordings reveal an even deeper dive

MISSION: IMPOSSIBLE— THE FINAL RECKONING

What’s it rated? PG-13

What’s it worth, Anna? Full price

What’s it worth, Glen? Full price

Where’s it showing? Bay, Colony, Downtown Centre, Fair Oak, Park, Stadium 10

mind-bending trick of turning your eyes’ perspective on its head. It was dizzying to say the least. e rst lm came out when I was a kid. I loved it then and I love it now. While Cruise can be someone I watch begrudgingly, the dude knows how to make a lm. He’s got that movie star magic that holds your attention on the big screen. At almost three hours, this lm is certainly a commitment, but one that’s worth it if you’re in the mood for some high ying, over-thetop action. Hunt’s quest is to save humanity, and in this lm, he’s more introspective than ever about the ripple e ects of past actions and choices. is lm brings the crew together for one nal mission, and we

into the mind of these depraved killers. While past narrative puts Fred in the driver’s seat, as the truth unfolds, we learn that Rose wasn’t a passive participant—she plotted and schemed some of the awful acts the couple performed. Spanning three episodes and slowly unfolding the well-known story alongside new revelations, this series is a bingeable breeze to watch for true-crime fans. If you don’t know the Wests’ story, this one is a real bummer, so proceed with caution. Their former home is known as the “House of Horrors” for good reason: The horrors held inside are disgusting and terrifying. (three approximately one-hour episodes.)

—Anna

KILLER COUPLE

Uncovered audiotapes reveal new details in a tragic serial killing case, in Fred & Rose West: A British Horror Story, streaming on Netflix.

get a few new fun characters too. Well, one is actually an old character, but with a new life that we get to catch up on. I’m a sucker for these lms for some reason, and I’m clearly not alone—this franchise has been a beast over the last 29 years.

Glen Certainly one reason for the franchise’s success is its choice of directors. e great Brian De Palma directed the 1996 original. Hong Kong action auteur John Woo helmed the second. en-rising Hollywood whiz kid J.J. Abrams headed the third. Brad Bird directed four. McQuarrie directed the rest of the series, and I honestly can’t believe this is the end.

Anna e franchise certainly shows the money behind it. It’s slick and big, and mindboggling in its budget. I can’t use the word “spectacle” enough with this one. If it truly is the nal lm of the franchise, they went out with a bang. ∆

Arts Editor Glen Starkey and freelancer Anna Starkey write Split Screen. Comment at gstarkey@newtimesslo.com.

FOUNTAIN OF YOUTH

What’s it rated? PG-13

When? 2025

Where’s it showing? Apple TV+

Guy Ritchie (The Covenant, Sherlock Holmes) directs James Vanderbilt’s ( Zodiac, The Amazing Spider-Man) screenplay about estranged siblings—Luke (John Krasinski) and Charlotte Purdue (Natalie Portman)—who reunite to seek the legendary Fountain of Youth.

I usually enjoy these fantasy adventure movies.

Think Raiders of the Lost Ark (1981), The Mummy (1999), National Treasure (2004), and Prince of Persia: The Sands of Time (2010). Just fun popcorn movies.

And the talent involved in this one? Guy Ritchie is a masterful director of kinetic action and (usually) sly humor. James Vanderbilt is a

COURTESY PHOTO BY DAN SMITH/APPLE TV+

talented screenwriter who can usually conjure both tension and emotion. Leads Krasinski and Portman—and co-stars such as Domhnall Gleeson, Stanley Tucci, and Eiza González— comprise a solid cast. Locales include Thailand, England, Austria, and Egypt. This thing should have been a slam dunk! Instead, it’s a snooze. Ritchie’s handy with action sequences, but most of the story vacillates between ridiculous and perfunctory as the team finds clues in famous paintings to locate the fountain. I never connected with or cared for the characters. Aside from a few chuckles, the film is unfunny and wholly forgettable, which is probably a good thing. I don’t want this clunker rolling around in my head. (125 min.) ∆ —Glen

ADVENTURERS

Esme (Eiza González) and sibling Luke (John Krasinski) and Charlotte Purdue

team up to search for a legendary myth, in Fountain of Youth, streaming on Apple TV+.

THE IMF (Left to right) Paris (Pom Klementieff), Degas (Greg Tarzan Davis), Ethan Hunt (Tom Cruise), Benji Dunn (Simon Pegg), and Grace (Hayley Atwell) team up to save the world, in Mission: Impossible—The Final Reckoning, screening in local theaters.
PHOTO COURTESY OF PARAMOUNT PICTURES AND SKYDANCE
(Natalie Portman)
PHOTO COURTESY OF NETFLIX

Music

Feel the heat

Afro-Cuban powerhouse Cimafunk headlines Live Oak on June 13

How do I know summer is upon us? Because the Live Oak Music Festival is just around the corner. Held on Father’s Day weekend, Friday, June 13, through Sunday, June 15, at El Chorro Regional Park, this fundraiser for local NPR affiliate KCBX features three days of music, fun, and community.

Opening day brings an amazing headliner, Grammy-nominated Cuban singer Cimafunk, who blends Caribbean sounds with Afro-Latin rhythms, funk, and hip-hop sounds. The Spanish language vocalist is a powerhouse with machine-gun-like delivery. If you’re unfamiliar, look up his NPR Tiny Desk concert on YouTube.

Cima takes his stage name from cimarrones—slaves that escaped and found freedom in the mountains in Cuba.

“I studied my family history and there is a strong history of cimarrones in my family tree,” Cima explained via email. “I’m a huge fan of funk music and when I started my solo career, I was deep into George Clinton, P Funk, Motown, and I put cimarrones and funk together to get to Cimafunk.”

Born in Pinar del Río Province, Cima now calls New Orleans home.

“I love exploring new places and cultures, and the U.S. is a really diverse and interesting place. New Orleans is amazing. The music, food, and culture are very similar to Cuba, and I’ve been able to connect with so many people, making me feel very much at home.

“My family is in Cuba, and I visit them as often as possible, and they visit me in New Orleans as well,” he continued. “Family is very important for Cubans, and we find the way to see each other and spend time as much as possible. I also love working with kids in the schools in Cuba and often bring Cuban youth to New Orleans and New Orleans youth to Cuba.”

New Orleans is obviously one of America’s music capitals, and Cima has found kindred spirits there.

“Even before I moved to New Orleans, I had connected with my friends Trombone

Live Music

NORTH COAST SLO COUNTY

ARLO AND WOODY GUTHRIE TRIBUTE

CONCERT Celebrate legendary folk singers

Woody and Arlo Guthrie with a wide range of topical ballads and broadsides, from Woody’s Dust Bowl Ballads, to Arlo’s hits like City of New Orleans. Get tickets and more info at the link. June 1 2-4 p.m. $2025. my805tix.com. Cambria Center for the Arts, 1350 Main St., Cambria.

BLUES AGENDA JAM AND SHOWCASE

A rockin’ blues dance party at Niffy’s Merrimaker every first, third, and now fifth Wednesdays. The Blues Asylum house band welcomes local, visiting, and newcomers to the blues groove. Spirits, beer, and wine, with outside food welcome. Every other Wednesday, 7-10 p.m. Free. (805) 235-5223. The Merrimaker Tavern, 1301 2nd Street, Los Osos.

DAMON CASTILLO BAND LIVE Enjoy an evening of live music from San Luis Obispo-

Year in the Latin Grammys. I’m so grateful for that recognition! In terms of sound, with Pa’ Tu Cuerpa, I tried to return a bit to my original sound from my breakout album, Terapia. However, similar to El Alimento, there are lots of collaborations with a diverse array of artists, so it’s a very eclectic, global sound with a strong presence of AfroCuban funk.”

Cima’s style and stage presence has already been compared to James Brown. Big shoes to fill.

“It’s an honor to be mentioned with James, but I don’t like it because I respect him so much that I feel bad to have that comparison made. I am just getting started, and I have big plans for the future, but I have too much respect for James Brown to endorse that comparison or feel really comfortable with it. But my band and I are huge fans and students of James and many of the other greats, so we do our best to honor them and have them present in our live shows.”

Alright, Live Oakies. Get ready for this Caribbean musical cyclone to blow through town.

Brass band mash-up act Brass Mash plays twice on Friday with a 4 p.m. concert on the main stage and an 10:30 p.m. closing show on Stage Too. If you like popular songs mashed together and arranged for a horn band, which you should, this band is awesome.

Americana and roots country singersongwriter Margo Cilker plays the main stage at 5:30 p.m. She released her debut, Pohorylle, in 2021 to universal acclaim. It led to a 44-show tour across the U.S. the U.K., and Scandinavia. Her follow-up, Valley of the Heart’s Delight, explores her Santa Clara Valley childhood.

Local Americana act Jill’s Knight Out plays Stage Too at 6:30 p.m. Knight is a local treasure—an amazing songwriter with an incredible voice. Expect R&B-tinged Americana songwriting and harmony singing.

Virtuoso bluegrass and country performers Rob Ickes & Trey Hensley play the main stage at 7 p.m. Rolling Stone calls them “two bluegrass aces,” and NPR calls them “two musical phenoms.” This Grammynominated acoustic duo will blow you away. Tickets are available at liveoakfest.org.

Chameleon

Shorty, the Soul Rebels, and other local artists with whom I’ve collaborated regularly. I think more than anything, New Orleans has allowed me to reflect on Cuba and my culture and history and what stories I want to tell and how I want to use my music.”

Cima’s 2017 debut, Terapia, introduced a surprising new voice and unique combination of genres to the international music scene, and it opened doors for his second full-length, 2021’s El Alimento, which featured wonderful collaborations with the likes of George Clinton, Lupe Fiasco, and CeeLo Green. Cima’s newest album is 2024’s, Pa’ Tu Cuerpa

“El Alimento was so special because of the collaborations with George, Lupe, and CeeLo, artists I’d been watching for many years, both enjoying their music and studying their careers,” he explained. “Just to meet them is a gift and to collaborate is even more special! Pa’ Tu Cuerpa is doing really well. It was nominated for a Grammy for Best Latin Alternative album and one of the songs, ‘Catalina,’ was nominated for Record of the

based artist Damon Castillo. June 7 6-9 p.m. $10. (805) 238-0725. castorocellars.com. Castoro Cellars, 1315 N. Bethel Rd., Templeton. LISTENING AS RITUAL Group listening sessions with musician/musicologist Ben Gerstein. Explore remarkable recordings of world music, nature field recording, western classical and contemporary, and jazz, sharing and discussing inspiration and perspectives on the expressive power of peoples, cultures, animals and habitats through sonic experience. Every other Monday, 7-8:15 p.m. $10-$15 donation. (805) 305-1229. leftcoastartstudio.com/. Left Coast Art Studio, 1188 Los Osos Valley Rd., Los Osos. OPEN MIC NIGHT Each Wednesday, enjoy this Open Mic Night in the downstairs dining area. Grab some friends and show off your talents. Food and drink service will be available. Wednesdays, 6 p.m. Free. (805) 995-3883. schoonerscayucos.com. Schooners, 171 North Ocean Ave, Cayucos.

SAM CHASE AND THE UNTRADITIONAL WITH BIG SIERRA San Francisco-based band The Sam Chase & The Untraditional will blend rock ‘n’ roll with folk music. Hear them live, along with a set from indie/alternative rock band Big Sierra. June 7 8-10:30 p.m. $18. thesirenmorrobay.com. The Siren, 900 Main St., Morro Bay, (805) 225-1312.

STRANGE CAKE (FREE SHOW) The funky, high-energy five-piece band, Strange Cake, hailing from the Central Coast is set to hit The Siren’s stage. Blending their musicals influences like The Meters and Phish, Strange Cake has developed their own unique sound –– a mix of funk, rock, and improvisational jam music. May 31, 7:30-10:30 p.m. Free. thesirenmorrobay.com. The Siren, 900 Main St., Morro Bay, (805) 225-1312.

TRIBUTE TO WOODY AND ARLO GUTHRIE IN CAMBRIA See a wide range of performers, including Bay Love, Bev Praver, Chet Perryess, Holly Ann Lewis, The Dennis & Laura Show,

“It’s my first time performing in that area, and we’re really excited to share our music with everyone at the festival,” Cima added. “We’re bringing some surprises and lots of energy.”

Cimafunk headlines Friday, June 13 If you can only come for one day, Friday’s a great choice. Entertainment begins at 1 p.m. in the Beer Garden with Poi Rogers playing Hawaiian steel and Western swing music. Think “somewhere in-between the tropical lounges of 1930s Los Angeles and the honky-tonk beer joints of rural 1950s California.”

You can hone your singing skills with longtime Live Oak emcee and Daivid Grisman collaborator Joe Craven and his talented daughter Hattie Craven in a workshop from 2 to 3:30 p.m. on Stage Too. Called Put Your Music Where Your Mouth Is, the workshop covers expression, improvisation, harmony, and mouth rhythms.

Kern Richards, Steve Bannon, Michael Gaither, Woody Bell, and Lola Guthrie. Purchase tickets at the link. June 1 2-5 p.m. $25. (805) 204-6821. songwritersatplay.com/events. Cambria Center for the Arts Theatre, 1350 Main St., Cambria. NORTH SLO COUNTY

BRACERO SOCIAL CLUB LIVE Head to Hubba Wines in Tin City for live tunes from Bracero Social Club. June 6 5-9 p.m. (805) 550-8190. hubbawines.com/Events. Hubba Wines, 2929 Limestone Way, Paso Robles. FRIDAY NIGHT DJ Weekly DJ series, with a different DJ every Friday. Presented by friends at Traffic Record store in Atascadero. Come listen, dance, drink, and unwind every Friday. All ages event; no cover charge. Fridays, 7-10 p.m. (805) 460-6042. ancientowlbeergarden.com. Ancient Owl Beer Garden, 6090 El Camino Real, suite C, Atascadero. GEORGE STONE, KEN HUSTAD, AND

Leon Bridges is a musical shapeshifter. He was my favorite new artist of 2015 when he released Coming Home, a collection of original R&B, soul, and gospel tracks that sounded like they were written in the 1950s and ’60s. He even dressed in the retro threads

SUNNY WRIGHT AT SENSORIO Enjoy live jazz with George Stone on piano, Ken Hustad on upright bass, and Sunny Wright on vocals. May 29 6:30-9:30 p.m. $35-$65. (805) 226-4287. sensoriopaso.com/. Sensorio, 4380 Highway 46 East, Paso Robles.

GLOW-GA AND GLOW DANCE PARTY: NCDPAF FUNDRAISER Enjoy a glow dance party with your community. Visit the link to get tickets and more info to this event, for ages 4 and up. May 30, 5-7:15 p.m. $25. my805tix.com. Centennial Park, 600 Nickerson Dr., Paso Robles.

HUBBA WINES 2025 SUMMER CONCERT SERIES Head to Hubba Wines in Tin City for live music featuring local bands every Friday evening. Wine and food available for purchase. Fridays, 5-9 p.m. through Aug. 29 $5 donation. (805) 550-8190. hubbawines.com/Events. Hubba Wines, 2929 Limestone Way, Paso Robles.

JAZZ, BLUES, AND SOUL WITH SUNNY

WRIGHT, JACOB ODELL, TRAVIS HARMS, AND DARYL VANDRUFF AT SENSORIO Dance under the stars or just chill at fire pit tables to Sunny Wright, Jake Odell, Travis Harms, and Daryl Vandruff at Sensorio. June 6, 6:30-9:30 p.m. $35-$70. (805) 2264287. sensoriopaso.com/. Sensorio, 4380 Highway 46 East, Paso Robles.

JUNE SUMMER CONCERT SERIES AT BARTON FAMILY ESTATE Join every Friday in June for live music to kick off the weekend. More info can be found at the link. June 6 , 5-8:30 p.m. (805) 237-0771. bartonfamilywines.com/events/detail/ Summer-concert-series-june6-2025/. Barton Family Wines, 2174 Highway 46 West, Paso Robles.

KARAOKE NIGHT Food and drink available for purchase. Last Saturday of every month, 8 p.m. Free admission. my805tix.com. Club Car Bar, 508 S. Main St., Templeton.

LIVE MUSIC continued page 25

CAMP FUNK Cimafunk headlines the opening day of the Live Oak Music Festival on June 13 at El Chorro Regional Park, where you can camp for the weekend or buy a day pass.
PHOTO COURTESY OF THE LIVE OAK MUSIC FESTIVAL
TEXAS SOULMAN R&B singer-songwriter Leon Bridges plays Vina Robles Amphitheatre on June 4, touring in support of Leon, an album that chronicles his Fort Worth upbringing.
PHOTO COURTESY OF NEDERLANDER CONCERTS
STARKEY continued page 24

of the era. That debut remains his biggest album, a platinum-seller that peaked at No. 6 on the Billboard 200 and garnered a Grammy nomination for Best R&B Album. Despite the massive success of that record, he refused to stick to the same sound,

His second and third albums—Good Thing (2018) and Gold-Diggers Sound (2021)—also scored nominations for Best R&B Album, and his 2018 single “Bet Ain’t Worth The Hand” won the Grammy for Best Traditional R&B Performance. Both albums remained “retro” but evolved beyond Coming Home’s throwback ’50s vibe. Bridges, it seems, prefers to stay musically unpredictable.

These days he’s touring in support of Leon (2024), a very personal record that explores his Fort Woth, Texas, upbringing and reveal a Leon “not in the lights,” as he told one interviewer. It’s a “a sonic journey through the streets he knows best, the things he holds dearest, and the memories of the people and place that shaped him,” press materials explained.

His music remains engaging and soulful, but he once again proves his sound can’t be pinned down.

Leon Bridges plays Vina Robles Amphitheatre on Wednesday, June 4 (doors at 6 p.m. show at 7:30; all ages; $138 to $478.40 at ticketmaster.com).

Banjo and beyond

If it’s got strings, chances are Tony Furtado can make it sing. Inspired by The Beverly Hillbillies TV show and a sixth-grade music report, he took up the banjo as a 12-year-old. About eight years later, in 1987, he won the National Bluegrass Banjo Championship in Winfield, Kansas. He won it again in 1991.

These days he also plays banjo, cello-banjo, slide guitar, and baritone ukulele, and he has a soulful voice used to good effect as he explores Americana, folk, indie rock, blues, and jazz sounds. With 17 albums to his credit, his catalog is deep, so there’s no telling what he might play when Numbskull and Good Medicine present Tony Furtado at Club Car Bar on Friday, May 30 (7 p.m.; all ages; $29.56 at goodmedicinepresents. com) with Luke Price opening. Numbskull and Good Medicine also bring Johnny Cash tribute band Cash’D Out to BarrelHouse Brewing on Friday,

May 30 (6 p.m.; all ages; $25.44 at goodmedicinepresents.com). If you like Cash’s Sun Records and early Columbia era sounds and the live recordings from Folsom Prison and San Quentin, don’t miss it!

Funky town

The Siren has a sweet doubleheader on Friday, May 30, when Boot Juice and The Funk Junket perform (7:30 p.m.; 21-andolder; $15.30 presale at tixr.com).

Boot Juice describes its sound as “Cosmic Rock plus Vibrant Americana.” The Davisbased septet features horns and three-part vocal harmonies, and mixes some funk, jazz, soul, and blues into their downhome back porch sounds.

Strange Cake plays (7:30 p.m.; 21-and-older). The Central Coast band is influenced “by the groovy sounds of The Meters and the eclectic jamming of Phish,” according to their bio. They “blend of funk, rock, and improvisational jam music.”

Keys for thee

Sound out!

The Funk Junket is a kinetic funk outfit with a horn section and drummer and congas player. They cook.

The Siren has two free ones on Saturday, May 31, starting with a matinee show from rockin’ blues and soul dance band The Ray Jaurique Band (2 to 5 p.m.; 21-and-older).

Jaurique describes the band as “one part Sam Cooke, one part Albert King, a pinch of Albert Collins, one part Delbert McClinton, a touch of Keb Mo’, some Van Morrison with a little Holland-Dozier-Holland thrown in.”

That evening, funky, high-energy quintet

The ivories will be well and thoroughly tickled this Sunday, June 1, when The SLO County Jazz Federation proudly presents its 40th annual Jazz Piano Showcase in Mt. Carmel Lutheran Church (4 p.m.; all ages; $40 general admission and $10 for students at my805tix.com). The concert features some of the Central Coast’s best pianists: Jim Barnett, Marshall Otwell, George Garcia, Jamaal Baptiste, Craig Updegrove, Andrew Sedley, and Bob Harway, who will be accompanied by Dylan Johnson (bass) and Darrell Voss (drums).

The concert is a major fundraiser for the Jazz Fed’s annual student scholarships, and a variety of snacks will be provided at intermission. Visit slojazz.org for more information. ∆

Contact Arts Editor Glen Starkey at gstarkey@newtimesslo.com.

MULTI-INSTRUMENTALIST Numbskull and Good Medicine present genre-hopping singersongwriter Tony Furtado at Club Car Bar on May 30
KEYBOARD
MAGIC The SLO County Jazz Federation proudly presents it 40th annual Jazz Piano Showcase on June 1 , in Mt. Carmel Lutheran Church.
PHOTO COURTESY OF THE SLO JAZZ FEDERATION
COSMIC ROCK Melding funk, jazz, soul, and blues, Boot Juice is half of a two-band show at The Siren on May 30
PHOTO COURTESY OF BOOT JUICE

LEON BRIDGES LIVE Texas-born artist, singer, and performer Leon Bridges is set to grace the stage in Paso Robles, on his The Leon Tour. Visit site to purchase tickets. June 4 7:30 p.m. $80. vinaroblesamphitheatre.com. Vina Robles Amphitheatre, 3800 Mill Rd., Paso Robles, (805) 286-3670.

OPEN MIC NIGHT Hosted by The Journals 805 (John and Dylan Krause). Mondays, 9 p.m. Pine Street Saloon, 1234 Pine St., Paso Robles.

PARK STREET SUPPER CLUB Join for a lively night of dancing, live music, and a three-course dinner at Park Street Supper Club. May 29, 5-10 p.m. $85. (805) 286-4636. parchettobistro.com/events/. Parchetto Bistro, 1234 Park St, Paso Robles.

SINGING HANDS CHILDREN’S CHOIR

A unique performing arts group that performs across the state for deaf festivals, service organizations, churches, fairs, and other outlets. New members always welcome. Registration open weekly. Mondays, 5-6:30 p.m. $45 tuition per month. singinghandschildrenschoir.com/. Singing Hands Children’s Choir and Performing Arts, 1413 Riverside Ave., Paso Robles.

SUMMER CONCERT SERIES Fresh off its latest art and music installation, Sensorio Paso Robles announces its Summer Concert Series, running from the beginning of June until October, featuring exciting live acts. June

1 $55 - $140. (805) 226-4287. sensoriopaso. com/sensorio-celebrations. Sensorio, 4380 Highway 46 East, Paso Robles.

SUMMER CONCERT SERIES AT HUBBA

WINES WITH PTFS Head to Hubba Wines in Tin City for live music, featuring local bands every Friday evening. Wine and food available for purchase. May 30 5-9 p.m. $5.00. (805) 550-8190. hubbawines.com/Events. Hubba Wines, 2929 Limestone Way, Paso Robles.

SUNDAY FUNDAY WITH SUNNY WRIGHT AND RYAN GARCIA Head to the Halter Ranch

Winery for a live jazz and blues performance from vocalist Sunny Wright and guitarist Ryan Garcia. Get more info at the link. June 1, 12-3

p.m. Free. (805) 226-9455. halterranch.com/ events-live-music. Halter Ranch Vineyard, 8910 Adelaida Road, Paso Robles. SAN LUIS OBISPO

40TH ANNUAL JAZZ PIANO SHOWCASE

The San Luis Obispo County Jazz Federation is proud to present their 40th Annual Jazz Piano Showcase. Some of the best pianists in the area will perform, including Jim Barnett, Marshall Otwell, Bob Harway, George Garcia, Jamaal Baptiste, Craig Updegrove, and Andrew Sedley. Get tickets now, at the link. June 1, 4-6:30 p.m. $45. my805tix.com. Mt. Carmel Lutheran Church, 1701 Fredericks Street, San Luis Obispo.

BONE CROWN AND CATACOMBS AT HUMDINGER SLO Hear metalcore band Brown Crown live, along with Catacombs and Isolate/ /Divide. This is an all-ages event. June 8, 6 p.m. $13. Humdinger Brewing (SLO), 855 Capitolio Way, suite 1, San Luis Obispo, (805) 781-9974, humdingerbrewing.com.

BRASS MASH: PRE-GRAD PARTY Every first Friday of the month is a magical night with Brash Mass. Hear them live and bust a groove. June 6 6-10 p.m. $24. my805tix.com. Liquid Gravity, 675 Clarion Court, San Luis Obispo.

CAL POLY ARAB MUSIC ENSEMBLE SPRING CONCERT Concerts feature world-class guest artists and a dance troupe that sets the music in motion with original choreographies. May 31 , 7:30 p.m. $22 general; $12 students. (805) 7564849. music.calpoly.edu/calendar. Spanos Theatre, Cal Poly, San Luis Obispo.

CAL POLY CHOIRS SPRING CONCERT:

“THE SACRED VEIL” With PolyPhonics and members of the Cal Poly Theatre and Dance Department’s dance program in a performance of Eric Whitacre’s “The Sacred Veil.” June 1 3 p.m. $17 and $22 general; $12 students. (805) 756-4849. music.calpoly.

edu/calendar/choirs/. Performing Arts Center, 1 Grand Ave., San Luis Obispo. CAL POLY SOUNDINGS: SOUND IN COLOR Music technology and composition students will partner with contemporary repertory dancers to create an evening of original music and choreography in collaboration with Brooklyn-based Longleash. May 29 7:30 p.m. and May 30 7:30 p.m. $22 general; $12 students. (805) 756-4849. music.calpoly.edu/calendar/ soundings. PAC Pavilion, Performing Arts Center, 1 Grand Ave, San Luis Obispo. CAL POLY SPRING JAZZ CONCERT: SOUNDS OF HARMONY Featuring the University Jazz Band and Vocal Jazz Ensemble, directed by Jamaal Baptiste; and the Jazz Combos, directed by Dylan Johnson. June 6 7:30 p.m. $22 general; $12 students and Jazz Federation members. (805) 7564849. music.calpoly.edu/calendar/jazz/. Spanos Theatre, Cal Poly, San Luis Obispo. CAL POLY SYMPHONY SPRING CONCERT: FAMOUS LAST WORKS Tchaikovsky’s “Sixth Symphony,” Rachmaninoff’s “Symphonic Dances,” and Strauss’ “Four Last Songs,” with Amy Goymerac, soprano, will be the famous “last works” featured in this concert. June 7 7:30 p.m. $17 and $22 general; $12 students. (805) 756-4849. music.calpoly.edu/calendar/ symph/. Performing Arts Center, 1 Grand Ave., San Luis Obispo.

CAL POLY VOCAL STUDENT RECITAL A free recital presented by Cal Poly Music Department student vocalists. June 5, 7:30 p.m. Free. (805) 756-2406. music.calpoly. edu/calendar/free/. Cal Poly Davidson Music Center, Room 218, Cal Poly, San Luis Obispo.

CAL POLY WIND BANDS SPRING

CONCERT: EDIFICE Celebrating the art and craft of architecture, with works including “Dreams of an Architect” by Joshua Idio and “Angels in the Architecture” by Frank Ticheli. June 8, 3 p.m. $17 and $22 general; $12 students. (805) 756-4849. music.calpoly. edu/calendar/winds/. Performing Arts Center, 1 Grand Ave., San Luis Obispo.

CHOIR! CHOIR! CHOIR! AN EPIC

ANTHEMS SING-ALONG This fully interactive, participatory show turns audience into performers—so get ready to laugh, dance, and sing your hearts out with hundreds of other music-lovers. May 30, 7:30 p.m. General admission starts at $35. (805) 756-4849. calpolyarts.org. Performing Arts Center, 1 Grand Ave., San Luis Obispo.

LOU DEEZI: WHEN SHE GONE TOUR

Doors open at 7 p.m. All ages welcome. June 7 8 p.m. The Fremont Theater, 1035 Monterey St., San Luis Obispo, (805) 5468600, fremontslo.com.

MARGOT SINCLAIR WITH TOAD AND DONDE Margot Sinclair is set to take the stage, fresh off an unforgettable performance at Shabang. Donde will kick off the night with their rock and ska vibes, and Toad will also step into the spotlight for a set of their own. Get tickets to this show at the link. June 6, 8 p.m. $15. my805tix.com. Libertine Brewing Company, 1234 Broad St., San Luis Obispo, (805) 548-2337.

MICHAEL NAU WITH SUPPORT BY ANNA ST. LOUIS Multi-instrumentalist and singer Michael Nau will perform at Slo Brew. Hear him blend folk, country, pysch, and poetic lyrics. Get tickets at the link. June 7 7 p.m. $33. slobrew.com. Rod & Hammer Rock, 855 Aerovista Pl., San Luis Obispo, (805) 543-1843.

MOSH FOR AUTISM: A PUNK AND METAL BENEFIT FOR THE CENTRAL COAST AUTISM SPECTRUM CENTER

The local punk community invites you to join in on an afternoon of live music and fundraising for the Central Coast Autism Spectrum Center. Get tickets and more info at the link. May 31 3 p.m. $21. my805tix.com. Humdinger Brewing (SLO), 855 Capitolio Way, suite 1, San Luis Obispo, (805) 781-9974.

PINK PONY CLUB DANCE PARTY Doors open at 7 p.m. For ages 18 and over. Visit site for DJ lineup and more info. May 30 fremontslo.com/shows/. Enjoy an evening

of glam and grooves at The Fremont Theater. Visit the link for tickets and more info. May 30 7-11 p.m. $25. (805) 541-4252. fremontslo.com. The Fremont Theater, 1035 Monterey St., San Luis Obispo.

SING A NEW DAY CHORAL CONCERT

SERIES Vocal Arts Ensemble presents choral music with spiritual and inspirational songs, jazz, and folk. May 31 3-5 p.m. $30. (805) 541-6797. vocalarts.org. Cuesta College Cultural and Performing Arts Center, Highway 1, San Luis Obispo.

SING A NEW DAY CHORALE CONCERT

SERIES Vocal Arts Ensemble choral concert will perform two hours of spiritual music with jazz and folk notes. Hear them live at the First Presbyterian Church of SLO. June 1 , 3-5 p.m. $30. (805) 541-6797. vocalarts.org. First Presbyterian Church of San Luis Obispo, 981 Marsh St., San Luis Obispo.

SOUTH COAST SLO COUNTY

ARROYO GRANDE HIGH SCHOOL CHOIR AND BAND: END OF YEAR CONCERT

The AGHS Choir, Concert Band, and Wind Ensemble perform a dynamic program of classical and contemporary pieces, showcasing student talent through rich harmonies. June 2 7-9 p.m. General admission $10; student $5. (805) 4899444. clarkcenter.org/shows/aghs-choirband-end-of-year-concert/. Clark Center for the Performing Arts, 487 Fair Oaks Ave., Arroyo Grande.

GIRLS NIGHT: THE MUSICAL (PRESENTED BY ENTERTAINMENT EVENTS, INC) The off-Broadway sensation that’s taking audiences by storm. Five friends relive their past, celebrate their present, and sing along to iconic female anthems. June 6 7:309:30 p.m. $55-$65.50. (805) 489-9444. clarkcenter.org/shows/girls-night/. Clark Center for the Performing Arts, 487 Fair Oaks Ave., Arroyo Grande.

JULIE KELLY QUARTET Join vocalist and guitarist Julie Kelly with the Rich Severson Trio for an evening of jazz, brazilian and pop tunes. June 1 5-8 p.m. (805) 773-6563. puffersofpismo.com. Puffers of Pismo, 781 Price St., Pismo Beach.

KARAOKE AT SLO COUNTY’S ONLY FILIPINO CAFE Join for all day, all ages karaoke hosted at SLO County’s only brick and mortar Filipino cafe, Lumpia Bros Cafe. Enjoy karaoke, filipino dishes, acai, and coffee. Tuesdays-Saturdays-6 p.m. through Dec. 31 Free. (805) 202-8473. Lumpia Bros Cafe, 1187 W. Grand Ave., Grover Beach.

KARAOKE EVERY WEDNESDAY A weekly event with barbecue offerings and more. Wednesdays, 4-8 p.m. Rancho Nipomo BBQ, 108 Cuyama Ln., Nipomo, (805) 925-3500.

THE LOUNGE AT BESO An upscale afterhours nightclub experience. With limited capacity and a dress code. For ages 21 and over. Fridays, 10 p.m. my805tix.com. Beso Cocina, 1050 Willow Road, Nipomo. PACIFIC BREEZE CONCERTS The City of Pismo Beach Recreation Division proudly presents the Pacific Breeze Concerts at Dinosaur Caves Park. Family activities and food will be for purchase. June 8 1-4 p.m. Free. (805) 773-7063. pismobeach. org/73/Recreation. Dinosaur Caves Park, 2701 Price St, Pismo Beach. SING A NEW DAY CHORAL CONCERT SERIES Hear the choral music of Vocal Arts Ensemble as they blend spiritual, folk, and jazz sounds. May 29 7-9 p.m. $30. (805) 541-6797. vocalarts.org. The Monarch Club at Trilogy Monarch Dunes, 1645 Trilogy Parkway, Nipomo. VOCAL ARTS ENSEMBLE: SING A NEW DAY - NIPOMO Hear the award winning choir live and purchase tickets at the link. May 29 7-9 p.m. $34. my805tix.com. Monarch Resort Art Studio, 1645 Trilogy Parkway, Nipomo. ∆

Flavor

Buon appetito

Paso’s Etto Pastificio and Edible SLO magazine team up to create the ultimate pasta cookbook

Etto Pastificio proprietor Brian Terrizzi has added another feather to his cap, or rather, his crown. Known as “The Pasta King of Paso,” Terrizzi is adding “cookbook author” to his culinary résumé.

Published by Edible San Luis Obispo magazine and available in June, Etto Pasta Cookbook is the first cookbook for both Edible and Etto.

“Partnering with Etto was a natural fit for the first cookbook in what will, hopefully, become a series of books with various partners from around the county, all under the Edible San Luis Obispo banner,” said Edible publisher Gail Cayetano Classick. “Each book will show a unique facet of the cuisine of the Central Coast.

Recipe roundup

Etto Pasta Cookbook, published by Edible San Luis Obispo magazine, will be released in June. Pre-order a copy at ediblesanluisobispo.com or ettopastificio.com.

Etto Pastificio is located at 3070 Limestone Way in Paso Robles’ Tin City. Market hours are 10 a.m. to 6 p.m. daily, with factory tours available weekdays by reservation only. For information on Etto Pasta Bar, visit ettopastabar.net. Follow Etto on Instagram and Facebook @ettopastificio.

“We knew in our hearts we had to start with Etto. Their pasta has influenced so many of the dishes found in our favorite restaurants, and it’s the pasta we prepare in our homes, and what my kids are growing up on.

ITALIAN The 172-page hardcover

and

and backstories.

Pasta with Creamy Saffron Tomato Sauce

From Etto Pasta Cookbook

Serves 4 to 6 / cook time 20 minutes

“Etto is a part of the fabric of this community—the food, the vibe, the people here—you just feel the passion in all that they do. It’s inspiring. I hope this book captures that feeling.”

Terrizzi and his wife, Stephanie, are household names on the Central Coast. Their portfolio includes Giornata Winery, founded by the duo in 2005, as well as Etto, launched in 2018 and currently encompassing a pasta factory, market, and restaurant, all of which are located in Paso Robles’ Tin City.

Etto production manager Rob Emery joined the team in 2020 and helped take the company to the next level, Terrizzi said.

Emery’s food science degree from Cal Poly complements Terrizzi’s winemaking degree from Fresno State. Emery also boasts diverse work experience as a cheesemaker at Cal Poly Creamery in San Luis Obispo, a gourmet sausage producer in the Bay Area, and wine hand at Babich Wines in New Zealand, West Cape Howe Wines in Australia, and Cakebread Cellars in Napa Valley.

However, his experience at Firestone Walker Brewing Company in Paso was particularly appealing to Terrizzi.

“I ran the packaging quality program,

Take a stroll around Milan and you’ll find that saffron and risotto go together like pasta and pecorino Romano. Inextricably connected to the city, saffron risotto is a culinary staple there. Here we pay homage to the luxurious spice of Persian origin; adding saffron to this tomato-based pasta dish brings a bit of grandeur.

2/3 teaspoon saffron threads

4 tablespoons extra virgin olive oil

3 cloves garlic, smashed

2 14-ounce cans cherry tomatoes, with juices

1/2 cup heavy cream

1 pound dried Etto trombe pasta

5 tablespoons butter grated Pecorino Romano cheese, for serving

kosher salt

sensory analysis program, hops research, and research and development/special projects,” Emery said. “During those six years, Firestone went through a phase of rapid expansion. This allowed me to gain critical insight into how a company can grow successfully.”

He ultimately connected with Terrizzi, “who was looking for help growing his pasta factory just as I was looking for my next adventure,” he continued.

Emery happily joined the Etto enterprise and has proved a major player in its success.

Etto pasta is a staple at many Central Coast restaurants and can also be shipped nationwide. The team is particularly proud of their partnership with schools—to the tune of more than 20 school districts in California and beyond.

Etto’s School Pasta Program serves most districts in San Luis Obispo County and several in Santa Barbara County, including Santa Maria.

All Etto pasta varieties boast high-quality organic durum semolina that is nutrient-rich and packed with 13 grams of protein per etto, or 100-gram serving, according to Terrizzi.

Step 1: In 1/4 cup hot water, add saffron threads and allow to bloom until water has colored. Set aside.

Step 2: In a large skillet, heat olive oil over medium heat. Add garlic and sauté until beginning to brown, just long enough to season oil. Remove garlic from oil, leaving oil in the skillet. Add cherry tomatoes with juices to skillet and cook until reduced slightly, breaking tomatoes up into a chunky sauce. Add cream and reserved saffron mixture to the liquid and bring to a gentle simmer.

Step 3: Meanwhile, in a large pot, bring 4 quarts of water to a boil and add 1 to 2 tablespoons of salt. Cook pasta according to package directions until al dente. Drain pasta, reserving 1 to 2 cups of starchy pasta water.

Step 4: Add pasta to the skillet with sauce, then add butter. Stir to combine, adding just enough pasta water to form a creamy sauce. Divide among warm bowls and finish with cheese.

“Ours is a single-ingredient food that’s naturally low glycemic—low in sugar—and a complex carbohydrate that breaks down in the body slowly for sustained energy, making it the perfect food for active kids,” he said.

Etto’s team is excited to share recipes that showcase their product line.

“I have personally always wanted to work on a cookbook, and I’m very excited that Etto and Edible have allowed this opportunity to realize this dream,” Emery said.

“Cooking, developing, and refining recipes to help others create magic in the kitchen is something I love. I’m also very passionate about education surrounding food, cooking, ingredients, and understanding food systems. So, this has been a great project to help share all of that.

“About half of [the recipes] are my own original ideas that have either stemmed from using local and seasonal ingredients or were inspired by my travels in Italy.”

The other half were penned by Terrizzi, with Etto’s director of marketing Gina DeGirolamo contributing a couple of original recipes as well.

The bulk of the cookbook spotlights 12 pasta shapes, with more than 50 accompanying recipes.

Certain shapes work best with particular sauces and ingredients, Terrizzi said.

“I see reginette as more of a winter shape, casarecce as a great pesto shape, and sedani for baked pasta,” he explained. “My kids love the radiatore and call it caterpillars.”

Other novel varieties include Etto’s Fido and Figaro dog- and cat-shaped noodles.

The recipes are “easy and approachable,” Terrizzi added, and “include information about some of the local farmers and purveyors that work so well with our pasta, like Mighty Cap Mushrooms and Alle-Pia [Fine Cured Meats].”

Terrizzi said he’s “beyond honored that Edible wanted to feature us for their first cookbook.”

“It was a no-brainer to collaborate,” Emery concurred. “I have long admired their magazine … and love how well it highlights our amazing local food and producer scene.”

He added that the opportunities “are seemingly limitless as far as where we can take Etto.”

But one thing, he stressed, will never change—the company’s commitment to produce “exceptional-quality pasta based in the Old World traditions of Italy, but informed by the New World and innovative mindset of California.” ∆

Flavor Writer Cherish Whyte loves Italian. She’ll be whipping up mouth-watering Etto recipes at cwhyte@newtimesslo.com.

COURTESY PHOTO BY RICHARD FUSILLO
DISHING
Etto Pasta Cookbook, co-produced by Etto Pastificio and Edible San Luis Obispo magazine, spotlights 12 of Etto’s pasta shapes along with creative
classic Italian recipes, color photos,
PHOTO COURTESY OF EDIBLE SAN LUIS OBISPO MAGAZINE
PARTNERS IN PASTA
From left, Etto production manager Rob Emery, of Atascadero; director of marketing Gina DeGirolamo, of Paso Robles; and proprietor Brian Terrizzi, of Templeton, share their favorite Italian recipes in Etto Pasta Cookbook
COURTESY PHOTO BY GIOVANNI TINÉ
HOME GROWN Fresh Central Coast produce, including assorted fungi from Mighty Cap Mushrooms, enhance Etto Pasta Cookbook’s 50-plus recipes. Combine Mushroom Cream Sauce with trombe pasta as a main or side.
COURTESY PHOTO BY RICHARD FUSILLO

2018 HYUNDAI TUCSON SEL SUV

pdl, cc, tw, am/fm/cd, seat, alloys, 125k miles. #677464

$10,988

2013 HONDA ACCORD LX SEDAN

4cyl, at, ac, cc, tw, pw, pdl, am/fm/cd, alloys, dk red, lthr, pseat. #194674

$11,988

2012 MINI COOPER JOHN COOPER WORKS

4cyl Turbo, 6spd man, ps, ac, pw, pdl, cc, tw, am/fm/ cd, alloys, blue, blk int, 88k low miles. #141132

$11,988

2.0 4cyl, at, ac, ps, pw, pdl, cc, tw, am/ fm/cd, 2pseats, lthr, white, 81k, alloys. #082940 $14,988 2015 AUDI Q5 PREMIUM

3.6 V6, at, ac, ps, pw, pdl, cc, tw, am/fm/cd,

Robles CA 93446.

County.

Hahn

(715 S

Robles CA 93446 ).

Robles CA 93446),

Barter (715 S

of California. The business is conducted by a married couple, Ian Hahn Barter. This statement was filed with the County Clerk of San Luis Obispo on 05/19/2025. hereby certify that this copy is a correct copy of the statement on file in my office. (Seal) Elaina Cano, County Clerk, lmaceri, Deputy. Exp. 05/19/2030. May 22, 29, June 5, 12, 2025

FICTITIOUS BUSINESS NAME STATEMENT FILE NO. 2025-1070 (N/A) New Filing

The following person(s) is (are) doing business as: HAND & FOOT 320 Marquita Ave., Paso Robles, CA 93446. San Luis Obispo County. 22 Hundred Cellars, Inc. (P.O. Box 232565 Encinitas CA 92023). State of California

FICTITIOUS BUSINESS NAME STATEMENT FILE NO. 2025-0758 (04/04/2025) New Filing The Following Person (s) Is Doing Business As: CENTRAL COAST SHED & STEEL 4615 Monterey Rd, Unit D, Paso Robles, CA 93446. San Luis Obispo County. Borboa & Co. LLC (262 Loma Bonita Dr. San Luis Obispo, California). State of California. This Business Is Conducted By A Limited Liability Company, Borboa & Co. LLC. Dallan Borboa, President. This Statement Was Filed With The County Clerk Of San Luis Obispo On 04/04/2025. I Hereby Certify That This Copy Is A Correct Copy Of The Statement On File In My Office. (Seal) Elaina Cano, County Clerk, mkatz, Deputy. Exp. 04/04/2030. May 15, 22, 29, June 5, 2025

FICTITIOUS BUSINESS NAME STATEMENT FILE NO. 2025-0762 (N/A) New Filing The following person is doing business as ALL AROUND PAINTING 437 Bar K Lane Nipomo, CA 93444, San Luis Obispo County. Joshua Acuna Zepeda (437 Bar K Lane Nipomo, CA 93444) This business is conducted by An Individual /s/ Joshua Acuna Zepeda. This statement was filed with the County Clerk of Luis Obispo on 04/044/2025. I hereby certify that this copy is a correct copy of the statement on file in my office. (Seal) Elaina Cano, County Clerk, gugalde, 04/04/2025. May 8, 15, 22, 29, 2025

FICTITIOUS BUSINESS NAME STATEMENT FILE NO. 2025-0779

(04/24/2024)

New Filing

The following person is doing business as REDS HANDYMAN SERVICES 500 Nelson Street #C, Arroyo Grande, CA 93420, San Luis Obispo County. Cody H. Plant (500 Nelson Street #C, Arroyo Grande, CA 93420) This business is conducted by An Individual /s/ Cody H. Plant. This statement was filed with the County Clerk of Luis Obispo on 04/08/2025. hereby certify that this copy is a correct copy of the statement on file in my office. (Seal) Elaina Cano, County Clerk, mkatz 04/08/2030. April 17, 24, May 1, 8, 2025.

FICTITIOUS BUSINESS N AME STATEMENT FILE NO. 2025-0782 (04/08/2025)

New Filing

The following person is doing business as OCEANO SAND COMPANY, 2000 Delta St, Oceano, CA 93445. San Luis Obispo County. Linda Marie Austin (1330 Lakeside Oceano CA 93445) James Edgar Guiton II (636 Airpark Oceano CA 93445). This business is conducted by A General Partnership. This statement was filed with the County Clerk of San Luis Obispo on 04/0/2025. I hereby certify that this copy is a correct copy of the statement on file in my office. (Seal) Elaina Cano, County Clerk, atrujillo, Deputy. Exp. 04/08/2030. May 8, 15, 22, 29, 2025.

FICTITIOUS BUSINESS NAME STATEMENT FILE NO. 2025-0795 (04/10/2025)

New Filing

The following person is doing business as DE SOLUTIONS 1794 Kyle Ct, Nipomo, CA 93444, San Luis Obispo County. Keith George Davidson (1794 Kyle Ct, Nipomo, CA 93444) This business is conducted by An Individual /s/ Keith Davidson. This statement was filed with the County Clerk of Luis Obispo on 04/10/2025. I hereby certify that this copy is a correct copy of the statement on file in my office. (Seal) Elaina Cano, County Clerk, mkatz, 04/10/2030. May 8, 15, 22, 29, 2025

FICTITIOUS BUSINESS NAME STATEMENT FILE NO. 2025-0802 (03/25/2024)

New Filing

The following person(s) is (are) doing business as: CLOUD 9 CREATIVE OUTLET 2740 San Luisito Creek Road, San Luis Obispo, CA 93405. San Luis Obispo County. Jennifer Lynn Freck (2740 San Luisito Creek Road, San Luis Obispo, CA 93405) This business is conducted by An Individual /s/ Jennifer Lynn Freck. This statement was filed with the County Clerk of Luis Obispo on 04/10/2025. I hereby certify that this copy is a correct copy of the statement on file in my office. (Seal) Elaina Cano, County Clerk, mkatz, 04/10/2030.

May 15, 22, 29, June, 5, 2025

RESOLUTION NO. 26-25

FICTITIOUS BUSINESS

NAME STATEMENT

FILE NO. 2025-0815 (N/A)

New Filing

The following person(s) is (are) doing business as: CHOWA BOWL PISMO

BEACH 690 Dolliver Street, Pismo Beach, CA 93449. San Luis Obispo County. KEB PB LLC (898 Main Street, Ste. C Morro Bay CA 93442). State of California. This Business Is Conducted By A Limited Liability Company, KEB PB LLC Katherine Bosken, President. This Statement Was Filed With The County Clerk Of San Luis Obispo On 04/11/2025. I Hereby Certify That This Copy Is A Correct Copy Of The Statement On File In My Office. (Seal) Elaina Cano, County Clerk, mkatz, Deputy. Exp. 04/11/2030.

May 15, 22, 29, June 5, 2025

FICTITIOUS BUSINESS

NAME STATEMENT FILE NO. 2025-0819 (02/01/2022)

New Filing

The following person is doing business as BODYS & JEWELRY, BODYS AND JEWELRY 785 Marsh St. Ste B, San Luis Obispo, CA 93401, San Luis Obispo County. Steven Rudolfo Acosta (6200 Portola Rd Atascadero CA 93422) This business is conducted by An Individual /s/ Steven L Rudolfo Acosta. This statement was filed with the County Clerk of Luis Obispo on 04/11/2025. I hereby certify that this copy is a correct copy of the statement on file in my office. (Seal) Elaina Cano, County Clerk, mstiletto, 04/11/2030. May 8, 15, 22, 29, 2025

RESOLUTION OF THE CITY COUNCIL OF THE CITY OF MORRO BAY, CALIFORNIA, DECLARING THE CITY’S INTENTION TO LEVY THE ANNUAL ASSESSMENT FOR CLOISTERS LANDSCAPING AND LIGHTING MAINTENANCE ASSESSMENT DISTRICT PURSUANT TO THE “LANDSCAPING AND LIGHTING ACT OF 1972” (STREETS AND HIGHWAYS SECTIONS 22500 ET.SEQ.) FOR FISCAL YEAR 2025/26 T

City of Morro Bay, California

WHEREAS, all property owners of the original Cloisters subdivision requested the City of Morro Bay form a maintenance assessment district to fund the maintenance of the Cloisters Park and Open Space; and

WHEREAS, the Landscaping and Lighting Act of 1972 (Streets and Highways Code sections 22500 et. seq.) (the “Act”) enables the City to form assessment districts for the purpose of maintaining public improvements; and

WHEREAS, pursuant to Section 22623 of the Act, the City Engineer has filed in the Office of the City Clerk, and submitted for review to the City Council, a report entitled “CLOISTERS LANDSCAPING AND LIGHTING MAINTENANCE ASSESSMENT DISTRICT 2025/26 ENGINEER’S ANNUAL LEVY REPORT,” dated May 13, 2025, prepared in accordance with Article 4 of the Act, commencing with Section 22565; and

WHEREAS, pursuant to Section 22608.2 of the Act, the subdivider was required by City Ordinance to install improvements for which an assessment district was required to assure continued and uninterrupted maintenance of the Cloisters Park and Open Space; and WHEREAS, pursuant to the intent of Article XIII, Section 4, of the California Constitution, the property owners have elected to form the Cloisters Landscaping and Lighting Maintenance Assessment District.

NOW, THEREFORE, BE IT RESOLVED, by the City Council of the City of Morro Bay,

Section 1. The City Council approves the Engineer’s Report.

Section 2. It is the intent of the Council to order the annual levy and collection of assessments for the Cloisters Landscaping and Lighting Maintenance Assessment District generally located as shown in Exhibit “A” attached hereto at a public hearing to be held at the

Exhibit A

CLOISTERS LANDSCAPING AND LIGHTING

MAINTENANCE ASSESSMENT DISTRICT

DISTRICT BOUNDARY DIAGRAM

The boundary diagram for the District have previously been submitted to the City Clerk in the format required under the 1972 Act and, by reference, are hereby made part of this Report. The boundary diagram and Tract Map are available for inspection at the office of the City Clerk or the City Engineer during normal business hours. The following diagram provides an overview of the District and the lots that are part of the District.

May 29, 2025

FICTITIOUS BUSINESS

NAME STATEMENT

FILE NO. 2025-0834 TRANSACTION BUSINESS DATE (N/A)

New Filing

The following person is doing business as, SAN LUIS OBISPO EQUINE MEDICAL CENTER, SAN LUIS OBISPO EQUINE, SLOE, SLO EQUINE 4850 Davenport Creek Rd, San Luis Obispo, CA 93401. San Luis Obispo County. Loomis Basin Equine Medical Center, Inc. (2973 Penryn Road Penryn, CA 95663). State of California This business is conducted by A CA Corporation /s/ Loomis Basin Equine Medical Center, Inc. Langdon Fielding, President. This statement was filed with the County Clerk of San Luis Obispo on 04/15/2025. hereby certify that this copy is a correct copy of the statement on file in my office. (Seal) Elaina Cano, County Clerk, mmaltby Deputy. Exp. 04/15/2030. May 8, 15, 22, 29, 2025

FICTITIOUS BUSINESS

NAME STATEMENT FILE NO. 2025-0848 (03/17/2025)

New Filing

The following person(s) is (are) doing business as: CALIBER COLLISION CENTERS 760 Francis Avenue, San Luis Obispo, CA 93401 San Luis Obispo County. Caliber Bodyworks LLC (2941 Lake Vista Drive Lewisville TX 75067). State of California. This Business Is Conducted By A Limited Liability Company, Caliber Bodyworks LLC Mark Chloupek, Secretary. This Statement Was Filed With The County Clerk Of San Luis Obispo On 04/16/2025. I Hereby Certify That This Copy Is A Correct Copy Of The Statement On File In My Office. (Seal) Elaina Cano, County Clerk, mmaltby, Deputy. Exp. 04/16/2030. May 15, 22, 29, June 5, 2025

Regular City Council Meeting on June 24, 2025, at or about 5:30 p.m., at the Veterans Hall in Morro Bay.

Section 3. The improvements to be maintained at the Cloisters Park and Open Space are specified in the Engineer’s Report dated May 13, 2025, which is hereby approved.

Section 4. The assessment upon assessable lots within the district is proposed to total $148,944 or $1,241.20 per assessable parcel for Fiscal Year 2025/26.

Section 5. Staff is directed to continue the Major Maintenance/ Capital Improvement Program that will address items requiring significant expenditures in future budget cycles with available capital fund balance until it is exhausted. Any projects identified with input from the community shall utilize surplus fund balance and shall be approved through the budget or budget amendment process by the City Council prior to implementation.

PASSED AND ADOPTED by the City Council of the City of Morro Bay at a regular meeting held on this 13th day of May, 2025, by the following roll call vote:

AYES: Wixom, Eckles, Edwards, Landrum, Luffee

NOES: None

ABSENT: None

ABSTAIN: None

RECUSE: None

/s/ Carla Wixom

Mayor, City of Morro Bay

ATTEST:

/s/ Dana Swanson

City Clerk, City of Morro Bay

Dated: May 21, 2025

Publish One Time – May 29, 2025

FICTITIOUS BUSINESS

NAME STATEMENT FILE NO. 2025-0851 (04/17/2025)

New Filing

The following person is doing business as Person Is Doing Business As: GLITTEROTICA 1008 Goldenrod Lane, San Luis Obispo, CA 93401. San Luis Obispo County. Big Balsz Productions LLC (1008 Goldenrod Lane San Luis Obispo CA 93401) This Business Is Conducted By A Limited Liability Company Big Balsz Productions LLC Jean Mussen Balsz, CEO.. State California. This Statement Was Filed With The County Clerk Of San Luis Obispo On 04/17/2025 Hereby Certify That This Copy Is A Correct Copy Of The Statement On File In My Office. (Seal) Elaina Cano, County Clerk, lmaceri. Deputy. Exp. 04/17/2030. May 8, 15, 22, 29, 2025

FICTITIOUS BUSINESS NAME STATEMENT FILE NO. 2025-0859 TRANSACTION BUSINESS DATE (N/A)

New Filing

The following person is doing business as, EAST WEST NATURAL MEDICINE CENTER 1415 Higuera St, San Luis Obispo, CA 93401. San Luis Obispo County. Niki Rarig, N.D. LAC, Inc. (PO Box 291 Cayucos, CA 93430). State of California This business is conducted by A CA Corporation /s/ Niki Rarig, N.D. LAC, Inc., President. This statement was filed with the County Clerk of San Luis Obispo on 04/17/2025. I hereby certify that this copy is a correct copy of the statement on file in my office. (Seal) Elaina Cano, County Clerk, mmaltby Deputy. Exp. 04/17/2030. May 8, 15, 22, 29, 2025

FICTITIOUS BUSINESS NAME STATEMENT FILE NO. 2025-0869 (02/01/2025)

New Filing

The following person(s) is (are) doing business as: HERITAGE HOSPICE, 5123 W Sunset Blvd, Suite 206, Los Angeles, CA 90027. San Luis Obispo County. E2 Hospice, Inc. (5123 W Sunset Blvd, Suite 206 Los Angeles, CA 90027). State of California The business is conducted by a corporation, E2 Hospice, Inc., Jason Bliss, President. This statement was filed with the County Clerk of San Luis Obispo on 04/21/2025. I hereby certify that this copy is a correct copy of the statement on file in my office. (Seal) Elaina Cano, County Clerk, atrujillo, Deputy. Exp. 04/21/2030. May 15, 22, 29, June 5, 2025

FICTITIOUS BUSINESS NAME STATEMENT FILE NO. 2025-0872 (04/21/2025)

New Filing

The following person is doing business as: ART IN THE PARK SHELL BEACH, PISMO SUMMER MARKET, 1163 Clevenger Drive, Arroyo Grande, CA 93420. San Luis Obispo County. Central Coast Events LLC (1163 Clevenger Drive Arroyo Grande CA 93420). State of California. This Business Is Conducted By A Limited Liability Company, Central Coast Events LLC Macey Hardridge, Managing Member. This Statement Was Filed With The County Clerk Of San Luis Obispo On 04/21/2025. I Hereby Certify That This Copy Is A Correct Copy Of The Statement On File In My Office. (Seal) Elaina Cano, County Clerk, atrujillo, Deputy. Exp. 04/21/2030. May 8, 15, 22, 30, 2025

RESOLUTION NO. 27-25

A RESOLUTION OF THE CITY COUNCIL OF THE CITY OF MORRO BAY, CALIFORNIA, APPROVING THE ENGINEER’S REPORT AND DECLARING THE CITY’S INTENTION TO LEVY THE ANNUAL ASSESSMENT FOR THE MAINTENANCE OF THE NORTH POINT NATURAL AREA LANDSCAPING AND LIGHTING MAINTENANCE ASSESSMENT DISTRICT PURSUANT TO THE “LANDSCAPING AND LIGHTING ACT OF 1972” (STREETS AND HIGHWAYS SECTIONS 22500 ET SEQ.) FOR THE 2025/26 FISCAL YEAR

City of Morro Bay, California

WHEREAS all property owners of the original North Point subdivision requested the City of Morro Bay form a maintenance assessment district to fund the maintenance of the North Point Natural Area; and

WHEREAS the Landscaping and Lighting Act of 1972, commencing with Streets and Highways Code section 22500 (the “Act”) enables the City to form assessment districts for the purpose of maintaining public improvements; and

WHEREAS pursuant to Section 22623 of the Act, the City Engineer has filed in the Office of the City Clerk, and submitted for review to the City Council, a report entitled “Engineers Report North Point Natural Area Landscaping and Lighting Maintenance Assessment,” dated May 13, 2025, prepared in accordance with Article 4 of the Act, commencing with Section 22565 (the “Engineer’s Report”); and

WHEREAS pursuant to Section 22608.2 of the Act, the subdivider was required by City ordinance to install improvements for which an assessment district was required to assure continued and uninterrupted maintenance of the North Point Natural Area; and WHEREAS pursuant to the intent of Article XIII, Section 4, of the California Constitution, the property owners have elected to form the North Point Natural Area Landscaping and Lighting Maintenance Assessment District.

NOW, THEREFORE, BE IT RESOLVED, by the City Council of the City of Morro Bay,

Section 1. The City Council approves the Engineer’s Report.

Section 2. It is the intent of the Council to order the annual levy and collection of assessments for the North Point Natural Area Landscaping and Lighting

Exhibit A

DISTRICT BOUNDARY

DIAGRAM

The boundary diagram, tract map for the District have previously been submitted to the City Clerk in the format required under the Act and, by reference are hereby made part of this Report. The boundary diagram is available for inspection at the office of the City Clerk or the City Engineer during normal business hours. The following diagram provides an overview of the District.

May 29, 2025

Maintenance Assessment District generally located as shown in Exhibit “A” attached hereto at a public hearing to be held at the Regular City Council meeting on June 24, 2025 at or about 5:30 p.m., at the Morro Bay Veterans Hall.

Section 3. The improvements to be maintained at the North Point Natural Area are specified in the Engineer’s Report dated May 13, 2025 which is hereby approved.

Section 4. The assessment upon assessable lots within the district is proposed to total $5,645 or $564.50 per assessable parcel for fiscal year 2025/26.

PASSED AND ADOPTED by the City Council of the City of Morro Bay at a regular meeting held on this 13th day of May, 2025, by the following roll call vote:

AYES: Wixom, Eckles, Edwards, Landrum, Luffee

NOES: None

ABSENT: None

ABSTAIN: None

RECUSE: None

/s/ Carla Wixom

Mayor, City of Morro Bay

ATTEST:

/s/ Dana Swanson

City Clerk, City of Morro Bay

Dated: May 21, 2025

Publish One Time – May 29, 2025

NOTICE OF ADOPTION OF ORDINANCE

NO. 686

NOTICE IS HEREBY GIVEN that the Atascadero City Council has adopted Ordinance No. 686 The primary provisions of the Ordinance are as follows:

This Ordinance authorizes the formation of the Atascadero Industrial Development Authority.

The Ordinance was passed and adopted by the City Council on May 27, 2025, by the following roll call vote:

AYES: Council Members Dariz, Funk, Newsom, Peek and Mayor Bourbeau.

NOES: None.

ABSENT: None

A complete copy of the Ordinance is on file in the City Clerk’s Office, 6500 Palma Avenue, Atascadero, California

DATED: May 27, 2025

S/ Alyssa Slater, Deputy City Clerk

RFPQ #334

Notice is hereby given that the San Luis Coastal Unified School District acting by and through its Board of Education will receive RFPQ #334: Sealed Fee Proposals and Statements of Qualifications for Lease-Leaseback Construction Services (“RFPQs”) for the Measure C-22; Baywood Elementary New Campus Contract up to but no later than June 27, 2025 at 10:00:00 A.M

Fully Approved Prequalification Applications Due Date: Prequalification applications are available on the PQ Bids website located at pqbids.com. A proposal submitted by a Contractor that is not fully approved as prequalified will not be accepted and will not be considered by the District. To be fully approved as prequalified for the Contract, prequalification must be completed no later than 10:00:00 a.m., June 20, 2025

The Sealed Fee Proposals and Statements of Qualifications shall be received in the San Luis Coastal Unified School District Facilities Office located at 937 Southwood Drive, San Luis Obispo, CA 93401.

Questions regarding RFPQ #334 Lease-Leaseback Construction Services for the Measure C-22; Baywood Elementary New Campus Contract may be directed in writing only to the Facilities Analyst II, Kelly Lee, at klee@slcusd.org, and must be submitted no later than June 16, 2025 at 10:00:00 A.M

Project documents are available at the San Luis Coastal Online Planroom at www.asapreprographics.com

Kelly Lee

Facilities Analyst II

ADMINISTRATIVE ACTIONS

Applications to make minor changes to the properties at the addresses listed below have been received by the City.

1. 1370 and 1386 Stafford St. SBDV-0778-2024; Request for a lot line adjustment between two underlying lots. This project is categorically exempt from environmental review (CEQA); R-2 Zone; Frank Jakes, applicant. (Eva Wynn)

2. 1513 Eto Circle. DIR-0272-2025; Request to allow tandem parking within the street yard setback area in driveway. This project is categorically exempt from environmental review (CEQA); R-1-PD Zone; Kevin Duffy, applicant. (Eva Wynn)

3. 3 Santa Rosa St. (Intersection of Santa Rosa and Foothill). DIR-03872025; Request for a Night Work permit to perform night work for 10 days between June 9, 2025 and August 1, 2025 from the hours of 7:00 PM to 7:00 AM. Work will be located at the intersection of Santa Rosa and Foothill related to a Caltrans storm drain project (categorically exempt from CEQA environmental review); C-C-SF Zone; SoCalGas, applicant. (Mallory Patino)

The Community Development Director will either approve or deny these applications no sooner than June 9, 2025

PUBLISH: May 29, 2025 CITY OF

San Luis Coastal Unified School District

Publications May 29, 2025 & June 5, 2025

CITY OF SAN LUIS OBISPO NOTICE OF PUBLIC MEETING

NOTICE IS HEREBY GIVEN THAT the City of San Luis Obispo Transit (SLO Transit) will hold a public meeting to present the following: TITLE VI PROGRAM UPDATE

In accordance with Federal Transit Administration (FTA) Circular 4702.1B, SLO Transit is updating its Title VI Program for Federal Fiscal Years (FFY) 2026-28. The updated program outlines how SLO Transit ensures compliance with federal nondiscrimination requirements and operates its programs and services without regard to race, color, or national origin.

The public meetings will be held on:

Date: Wednesday, June 11, 2025 Times: 1:30 p.m. & 5:00 p.m.

Location: City/County Library Community Room 995 Palm Street San Luis Obispo, CA 93401

The public has the opportunity to review the draft plan of the Title VI Program update. A copy of the draft plan are also available for review online at slotransit.org, at the City of San Luis Obispo Clerk’s Office at 990 Palm Street, and at the Mobility Service Office at 1260 Chorro Street.

Public comments are encouraged and will be accepted for thirty (30) days following the date of the public meeting until Wednesday July 11, 2025: online at slotransit.org, by email to slotransit@slocity.org, by mail to SLO Transit at 1260 Chorro Street, San Luis Obispo, CA 93401.

Questions may be addressed to Alex Fuchs, Mobility Services Business Manager, at (805) 783-7877 or afuchs@ slocity.org.

CIUDAD DE SAN LUIS OBISPO

AVISO DE REUNIÓN PÚBLICA

POR MEDIO DE LA PRESENTE SE AVISA que el Transporte Público de la Ciudad de San Luis Obispo (SLO Transit) llevará a cabo una reunión pública para presentar lo siguiente:

ACTUALIZACIÓN DEL PROGRAMA DEL TÍTULO VI De conformidad con la Circular 4702.1B de la Administración Federal de Tránsito (FTA), SLO Transit está actualizando su Programa del Título VI para los Años Fiscales Federales (FFY) 2026-28. El programa actualizado describe cómo SLO Transit garantiza el cumplimiento de los requisitos federales de no discriminación y opera sus programas y servicios sin tener en cuenta la raza, el color ni el origen nacional.

Las reuniones públicas se llevarán a cabo el:

Fecha: miércoles, 11 de junio de 2025

Horario: 1:30 p.m. y 5:00 p.m.

Ubicación: Sala Comunitaria de la Biblioteca de la Ciudad/Condado 995 Palm Street San Luis Obispo, CA 93401 El público tiene la oportunidad de revisar el borrador del plan de actualización del Programa Título VI. También puede consultar una copia del borrador en línea en slotransit.org, en la Oficina de la Secretaria de la Ciudad de San Luis Obispo, ubicada en 990 Palm Street, y en la Oficina de Servicios de Movilidad, ubicada en 1260 Chorro Street. Se agradecen los comentarios del público, que se aceptarán durante los treinta (30) días posteriores a la fecha de la reunión pública, hasta el miércoles 11 de julio de 2025: en línea en slotransit.org, por correo electrónico a slotransit@slocity.org o por correo postal a SLO Transit, ubicada en 1260 Chorro Street, San Luis Obispo, CA 93401. Las preguntas pueden dirigirse a Alex Fuchs, Gerente Comercial de Servicios de Movilidad, al (805) 783-7877 o afuchs@slocity.org.

May 29, 2025

CITY OF SAN LUIS OBISPO NOTICE OF PUBLIC MEETING

NOTICE IS HEREBY GIVEN THAT the City of San Luis Obispo

Transit (SLO Transit) will hold a public meeting to present the following:

PROPOSED DISADVANTAGED BUSINESS ENTERPRISE (DBE) GOAL for Federal Transit Administration (FTA)-assisted Contracts

FTA recipients receiving planning, capital and/or operating assistance who will award prime contracts, excluding transit vehicle purchases, with the cumulative total value which exceeds $650,000 in federal funds in a Federal fiscal year must establish a DBE Goal. SLO Transit meets this threshold and has updated the agency’s overall DBE goal for federal fiscal year 2026-28.

The proposed overall Goal of 0.5% for DBE participation in FTA-assisted contracts for Federal Fiscal Years (FFY) 2026-28 is established pursuant to U.S. Department of Transportation (DOT), Title 49 Code of Federal Regulations (CFR) Part 26.

The public meetings will be held on:

Date: Monday, June 9, 2025 Time: 1:30 p.m. & 5:30 p.m.

Location: City/County Library Community Room 995 Palm Street San Luis Obispo, CA 93401

The public has the opportunity to review the proposed DBE Goal at the above scheduled public meetings. The draft document is also available for review online at slotransit.org, at the City of San Luis Obispo Clerk’s Office at 990 Palm Street, and at the Mobility Service Office at 1260 Chorro Street.

Public comments are encouraged and will be accepted for thirty (30) days following the date of the public meeting until Wednesday, July 9, 2025: online at slotransit.org, by email to slotransit@slocity.org, and by mail to SLO Transit at 1260 Chorro Street, San Luis Obispo, CA 93401.

Questions may be addressed to Alex Fuchs, Mobility Services Business Manager, at (805) 783-7877 or at afuchs@slocity.org.

CIUDAD DE SAN LUIS OBISPO AVISO DE REUNIÓN PÚBLICA

POR MEDIO DE LA PRESENTE SE AVISA que la Ciudad de San Luis Obispo Transit (SLO Transit) llevará a cabo una reunión pública para presentar lo siguiente:

OBJETIVO PROPUESTO PARA EMPRESAS EN DESVENTAJA (DBE) para contratos asistidos por la Administración Federal de Tránsito (FTA)

Los beneficiarios de la FTA que reciben asistencia de planificación, capital y/o operación y que otorgarán contratos principales, excluyendo la compra de vehículos de transporte público, con un valor total acumulado que exceda los $650,000 en fondos federales en una meta fiscal federal deben establecer una meta de DBE. SLO Transit cumple con este límite y ha actualizado el objetivo y el programa general de DBE de la agencia para el año fiscal 2026-28. El objetivo general propuesto de 0.5% para la participación de DBE en contratos asistidos por FTA para los años fiscales federales (FFY) 2026-28 se establece de conformidad con el Departamento de Transporte de EE. UU. (DOT), Título 49 Código de Regulaciones Federales (CFR) Parte 26. Las reuniones públicas se llevarán a cabo el:

Fecha: lunes, 9 de junio de 2025

Hora: 1:30 p.m. y 5:30 p.m.

Lugar: Sala Comunitaria de la Biblioteca de la Ciudad Condado 995 Palm Street San Luis Obispo, CA 93401

El público tiene la oportunidad de revisar la Meta DBE propuesta en las reuniones públicas programadas anteriormente. El borrador también está disponible para su revisión en línea en slotransit.org, en la Oficina de la Secretaria de la Ciudad de San Luis Obispo, ubicada en 990 Palm Street, y en la Oficina de Servicios de Movilidad, ubicada en 1260 Chorro Street.

Se agradecen los comentarios del público, que se aceptarán durante los treinta (30) días posteriores a la fecha de la reunión pública, hasta el miércoles 9 de julio de 2025: en línea en slotransit.org, por correo electrónico a slotransit@slocity. org y por correo postal a SLO Transit, ubicada en 1260 Chorro Street, San Luis Obispo, CA 93401. Las preguntas pueden dirigirse a Alex Fuchs, Gerente Comercial de Servicios de Movilidad, al (805) 783-7877 o a afuchs@slocity.org. May 29, 2025

The Director’s decision may be appealed, and must be filed with the appropriate appeal fee within 10 days of the Director’s action. For more information, contact the City of San Luis Obispo Community Development Department, 919 Palm Street, San Luis Obispo, CA 93401, stop by Monday and Wednesday between 1 p.m. – 4 p.m. and Tuesday and Thursday between 9 a.m. – 12 p.m., or call (805) 781-7170, weekdays, 8 a.m. – 3 p.m. May 29, 2025

PUBLIC HEARING NOTICE

NOTICE IS HEREBY GIVEN that on Tuesday, June 10, 2025 at 6:00 p.m. or as soon thereafter as possible, the Pismo Beach Planning Commission will hold a public hearing in the Council Chamber at City Hall, 760 Mattie Road, Pismo Beach, for the following purpose: PUBLIC HEARING AGENDA:

A. Address: 1481 Price St., 1370 Dolliver St., and 1331 Price St. (APN 005-062-003, 005-062-004, 005-064-002, 005-064-003, 005-064-012)

Applicant: Coastal Community Builders, Inc.

Project No.: P24-000074

Description: Continued public hearing from the 5/27/2025 Planning Commission meeting: Coastal Development Permit, Conditional Use Permit, Architectural Review Permit, & Vesting Tentative Tract Map request to develop new three-story commercial/residential mixed-use development which includes three commercial spaces totaling approximately 5,700 square feet & 39 residential condominium units totaling approximately 53,400 square feet, five of which would be deed restricted as affordable for sale to low and very-low-income households. Project is proposed under the provisions of State Density Bonus Law which allows for increase in density and request for concessions/waivers related to parking, height increase over the maximum allowed, lot coverage, landscaping, setback encroachments, & fence/wall height increase. Project also proposes demolition of existing residential & commercial structures onsite, includes public right-of-way improvements along Price, Dolliver, Bay, & Harloe Streets including new additional angled parking spaces, street improvements, and creation of a public “Gateway” plaza at the corner of Price & Dolliver Streets as a public benefit amenity feature. Project size is five underlying parcels of 1.2 acres in area to be resubdivided as two lots with mixed-use units. Request includes adoption of Categorical Exemption 2025-013. The project is located within the Coastal Zone & is not appealable to the Coastal Commission.

Environmental Review

In accordance with the California Environmental Quality Act (CEQA), it has been determined that the project is categorically exempt pursuant to Section 15332 of the CEQA Guidelines regarding infill development activities for projects consistent with the general plan designation, less than five acres, and surrounded by urban uses.

Details about ways to participate in this hearing will be provided on the agenda posted for the meeting online at pismobeach.org/ agenda, and on the bulletin board at City Hall. The agenda will be posted in the afternoon of June 5, 2025.

You have a right to comment on these projects and their effect on our community. Interested persons are invited to participate in the hearing or otherwise express their views and opinions regarding the proposed projects. Emailed comments may be submitted to planningcommission@pismobeach.org; staff cannot guarantee that emailed comments submitted after the start of the meeting will be given full consideration before action is taken. Written comments may be delivered or mailed to the Community Development Department / Planning Division Office at 760 Mattie Road, Pismo Beach, CA 93449, prior to the meeting, or hand-delivered during the meeting no later than the comment period for this item. Oral comment may be provided prior to the meeting by calling 805-7737005 and leaving a voice message. Please state and spell your name, and identify your item of interest. Oral comment may also be made during the meeting, either by joining the virtual meeting using the link provided on the agenda document, or by attending the meeting in person in the Council Chamber at City Hall. Please refer to the agenda for this meeting for specific instructions for participation

Staff reports, plans and other information related to these projects are available for public review from the Planning Division Office, by emailing Administrative Secretary Brianna Whisenhunt at bwhisenhunt@pismobeach.org. The meeting agenda and staff report will be available no later than the Friday before the meeting and may be obtained upon request by mail or by visiting www.pismobeach.org/agenda. The Planning Commission meeting will be televised live on Charter Spectrum Cable Channel 20 and streamed on the City’s website.

PLEASE NOTE:

If you challenge the action taken on this item in court, you may be limited to raising only those issues you or someone else raised at the public hearing described in this notice, or in written correspondence delivered to the City of Pismo Beach at, or prior to, the public hearing.

For further information, please contact Administrative Secretary Brianna Whisenhunt at bwhisenhunt@pismobeach.org or 805-773-74658. Brianna Whisenhunt Administrative Secretary May 29, 2025

NOTICE TO PROPOSERS PROPOSALS

WITH OPTION TO BECOME PERMANENT The City of Pismo Beach is requesting proposals from a qualified firm or individual(s) to provide Interim City Attorney services for an initial term of six months, with the potential for the selected proposer to become permanent City Attorney. All questions must be submitted in writing through the PlanetBids Procurement Question/Answer Tab via the City’s e-Procurement portal, on or before the Question & Answer Submission Date and Time. All questions submitted and answers provided shall be electronically distributed to all proposers who have selected to “follow” this RFP on the City’s e-Procurement Portal. Proposals must be submitted online using the City’s electronic bidding platform which can be accessed at www.pismobeach. org/bids

ERICA INDERLIED, CITY CLERK May 29 & June 5, 2025

NOTICE OF PUBLIC HEARING AND SUMMARY OF ORDINANCE NO. 1160

Notice is hereby given that at its Regular Meeting on Tuesday, May 20, 2025, at 6:00 PM, the City Council of the City of El Paso de Robles adopteded Ordinance No. 1160, AN ORDINANCE OF THE CITY OF EL PASO

THE CALIFORNIA ENVIRONMENTAL QUALITY act PURSUANT TO STATE CEQA GUIDELINES SECTION 15061(B)(3)

The following is a summary of the Ordinance:

Section 11.20.090 of Chapter 11.20 of Title 11 of the

the term “Newly Paved Street’ shall mean any street that was constructed, reconstructed, slurry sealed, resurfaced, overlaid, or the subject of pavement rehabilitation within the past five (5) years.

B. Exceptions. An exception to the above pavement preservation requirement for newly paved streets may be granted in the following situations at the discretion of the City Engineer. Applicants seeking to excavate, cut, drill, trench, dig, pothole or otherwise disturb the surface of any newly paved street must submit a written request to the City Engineer, as part of their initial application submittal to the City, indicating which of the following exceptions apply to the proposed work with adequate supporting documentation as deemed reasonably necessary by the City Engineer:

1. Emergency encroachments that are immediately necessary to preserve life, property, or public health and safety from an imminent threat of harm;

2. Work that is mandated by city, state, or federal legislation, or initiated by the City;

3. Work necessary for new development or new customers to provide utility service for buildings or parcels where no other reasonable means of providing service exists;

4. Repairs or modifications that are necessary to prevent the interruption of essential utility service;

5. Other situations deemed by the City Engineer to be in the best interest of the general public.

Emergencies and other exceptions do not exempt the permittee from any requirements to repair the pavement as required by this section or as conditions of approval of a permit. The provisions of this section shall not apply to officers or employees of the City acting in the discharge of their official duties.

C. Permit Conditions. Any approval of an excavation in a newly paved street shall be subject to the following conditions in this subsection (C). The City Engineer shall have discretion to modify, supplement, waive or amend these conditions as may be necessary or appropriate under the circumstances to protect public health and safety or in furtherance of the goals of this section.

1. If affected pavement is isolated to one side of the centerline, permittee shall grind and overlay to a depth of 2 inches with a width extending from the curb to the centerline for the entirety of the length of the excavation.

2. If affected pavement extends past the centerline, permittee shall grind and overlay to a depth of 2 inches with a width extending from the curb to curb for the entirety of the length of the excavation.

3. For excavations perpendicular to the curb face where affected pavement is isolated to one side of the centerline, permittee shall grind and overlay to a depth of 2 inches with a width extending from the curb to the centerline and a length equal to 10 feet on both sides of the excavation.

4. For excavations perpendicular to the curb face where affected pavement extends past the centerline, permittee shall grind and overlay to a depth of 2 inches with a width extending from the curb to curb and a length equal to 10 feet on both sides of the excavation.

5. No pavement restoration is required for driveway aprons, if permittee cuts at edge of gutter and uses edge of existing asphalt concrete as batter board.

6. For all pavement restoration, permittee shall match existing material of the roadway, unless waived by the City Engineer.

7. Excavations utilizing trenchless options, including but not limited to pipe lining or pipe bursting, shall be subject to reduced pavement restoration requirements as deemed appropriate by the City Engineer on a case by case basis. Ordinance No. 1160 was adopted by the City Council by the following unanimous vote:

AYES: Strong, Gregory, Bausch, Beal, Hamon The Ordinance will take effect thirty (30) days after

NOTICE OF PUBLIC HEARING BOARD OF SUPERVISORS

WHO: San Luis Obispo County Board of Supervisors

WHEN: Tuesday, June 3, 2025, at 9:00 a.m. All items are advertised for 9:00 a.m. To find out placement of this item on the Board of Supervisors Agenda, go to the County’s website at www. slocounty.ca.gov on the Wednesday before the scheduled hearing date.

WHAT: Hearing to consider [1] amendments to the Inland and Coastal Zone Land Use Ordinances, Local Coastal Program, Buildings and Construction Ordinance, and Williamson Act Rules of Procedure to update regulations relating to accessory dwellings, [2] amendments to the Inland Land Use Ordinance to update regulations relating to urban dwellings, [3] amendments to the Real Property Division Ordinance to update regulations relating to urban lot splits, and [4] amendments to the Inland and Coastal Zone Land Use Ordinances and Local Coastal Program to update regulations relating to the Density Bonus Program (County File Numbers: LRP2024-00013 and -00014) for consistency with State law and to streamline and support affordable housing production.

County File Number: LRP2024-00013 and -00014 Assessor Parcel Numbers: N/A Supervisorial District: All Districts (Countywide) Date Accepted: N/A

WHERE: The hearing will be held in the San Luis Obispo County Board of Supervisors Chambers, 1055 Monterey St., Room #D170, County Government Center, San Luis Obispo, CA. The Board of Supervisors Chambers are located on the corner of Santa Rosa and Monterey Streets. At the hearing all interested persons may express their views for or against, or to change the proposal.

FOR FURTHER INFORMATION: You may contact Tristan Roach, Project Manager, in the San Luis Obispo County Department of Planning and Building, 976 Osos Street, Room 200, San Luis Obispo, California 93408, troach@co.slo. ca.us, (805) 781-5113. The staff report will be available for review the Wednesday before the scheduled hearing date on the County’s website at http://www.slocounty.ca.gov

ENVIRONMENTAL INFORMATION: This project is [1] statutorily exempt from CEQA pursuant to California Government Code Sections 21080.17, 65852.21.(j), and 66411.7.(n), which state that local ordinances adopted to implement State standards for accessory dwellings, urban dwellings, or urban lot splits, respectively, shall not be considered a project under CEQA (ED24-192), and [2] qualifies for a General Rule Exemption pursuant to CEQA Guidelines Section 15061(b)(3) because the recommended ordinances to ensure compliance with California Government Code Sections 6591518 Density Bonuses and Other Incentives do not involve the addition of any new uses that are not currently allowed and therefore do not have the potential for causing a significant effect on the environment (ED24-193).

COASTAL APPEALABLE: Yes

**If you challenge this matter in court, you may be limited to raising only those issues you or someone else raised at the public hearing described in this public notice or in written correspondence delivered to the appropriate authority at or before the public hearing**

DATED: May 21, 2025

MATTHEW P. PONTES, EX-OFFICIO CLERK OF THE BOARD OF SUPERVISORS

By: /s/ Niki Martin

Deputy Clerk

May 29, 205

RESOLUTION OF THE CITY COUNCIL OF THE CITY OF ATASCADERO, CALIFORNIA, DECLARING ITS INTENTION TO LEVY AND COLLECT ASSESSMENTS FOR THE ATASCADERO LANDSCAPING AND LIGHTING MAINTENANCE DISTRICT NO. 02 (WOODRIDGE) FOR FISCAL YEAR 2025/2026

The City Council of the City of Atascadero (hereafter referred to as “City Council”) does resolve as follows:

WHEREAS, The City Council has by previous Resolution initiated proceedings for fiscal year 2025/2026 regarding the levy and collection of assessments for the Atascadero Landscaping and Lighting District No. 02 (Woodridge) (hereafter referred to as the “District”). Pursuant to the provisions of the Landscaping and Lighting Act of 1972, Part 2, Division 15 of the California Streets and Highways Code (commencing with section 22500) (hereafter referred to as the “Act”), assessments for the District shall be levied and collected by the County of San Luis Obispo for the City of Atascadero to pay the maintenance and services of the improvements and facilities related thereto; and

WHEREAS, the proposed District assessments for fiscal year 2025/2026 are less than or equal to the maximum assessments previously approved in accordance with the requirements of the California Constitution, Article XIIID; and

WHEREAS, here has now been presented to this City Council an Engineer’s Annual Levy Report (hereafter referred to as the “Engineer’s Report”), and said Engineer’s Report has been filed with the City Clerk in accordance with the Act; and

WHEREAS, the City Council has examined and reviewed the Engineer’s Report as presented and is satisfied with the Report, each of the budget items and documents as set forth therein and is satisfied that the proposed assessments contained therein, have been spread in accordance with the benefits received from the improvements, operation, maintenance and services to be performed within the District, as set forth in said Report.

NOW, THEREFORE BE IT RESOLVED by the City Council of the City of Atascadero, pursuant to Chapter 3, Section 22624 of the Act, as follows:

SECTION 1. The above recitals are true and correct.

SECTION 2. The City Council hereby declares its intention to seek the annual levy and collection of assessments within the District pursuant to the Act, over and including the lands, lots and parcels within the District boundary. The City Council further declares its intention to levy and collect assessments on such land to pay the annual costs and expenses of the improvements and services described in Section 4 of this Resolution, for fiscal year 2025/2026.

SECTION 3. The boundaries of the District are described in the Engineer’s Report and are consistent with the boundary established and described in the original formation documents, on file with the City Clerk, and incorporated herein by reference. The District is within the boundaries of the City of Atascadero, within the County of San Luis Obispo, State of California and includes the territory known as Woodridge and referred to as the “Atascadero Landscaping and Lighting District No. 02”.

SECTION 4. The improvements within the District include the ongoing maintenance, operation and servicing of local landscaping and street lighting improvements established or installed in connection with development of properties within the District. These improvements generally include, but are not limited to the materials, equipment, utilities, labor, appurtenant facilities and expenses necessary for the ongoing maintenance and operation of public street lighting as well as landscaped parkways, medians, slopes, trails, park areas, drainage basins, open space areas and other designated easements or rights-ofway constructed and installed as part of the development plans and agreements approved for the development of each lot and parcel within the District.

SECTION 5. The proposed assessments for fiscal year 2025/2026, as outlined in the Engineer’s Report, do not exceed the maximum assessment approved by the property owners through a property owner balloting proceeding conducted in 2005. As such, the proposed assessments do not constitute an increased assessment and do not require additional property owner approval in accordance with the requirements of the California Constitution, Article XIIID.

SECTION 6. The City Council hereby declares its intention to conduct a Public Hearing concerning the District and the levy of assessments in accordance with Chapter 3, Section 22626 of the Act.

SECTION 7. Notice is hereby given that a Public Hearing on these matters will be held by the City Council on Tuesday, June 10, 2025, at 6:00 p.m., at the City Council Chambers, 6500 Palma Avenue, Atascadero, California or as soon thereafter as feasible. At the Public Hearing, all interested persons shall be given an opportunity to hear and be heard on the proposed assessment to be levied for fiscal year 2025/2026 as contained in the Engineer’s Report on file in the City Clerk’s Office.

SECTION 8. The City Clerk shall give notice of the time and place of the Public Hearing to all property owners within the District pursuant to Sections 22626, 22552 and 22553 of the Act and 6061 of the Government Code by publishing this Resolution of Intention in a local newspaper one time at least 10 days prior to the Public Hearing.

PASSED AND ADOPTED at a regular meeting of the City Council held on the 13th day of May 2025.

On motion by Council Member Peek and seconded by Council Member Funk, the foregoing Resolution is hereby adopted in its entirety on the following roll call vote:

AYES: Council Member Funk, Newsom, Peek, Mayor Pro Tem Dariz, Mayor Bourbeau

NOES: None

ABSENT: None

ABSTAIN: None

CITY OF ATASCADERO

Charles Bourbeau, Mayor

ATTEST: Lara K. Christensen, City Clerk

PUBLISH: 5/29/2025

CITY OF ATASCADERO RESOLUTION 2025-013

RESOLUTION OF THE CITY COUNCIL OF THE CITY OF ATASCADERO, CALIFORNIA, DECLARING ITS INTENTION TO LEVY AND COLLECT ASSESSMENTS FOR THE ATASCADERO LANDSCAPING AND LIGHTING MAINTENANCE DISTRICT NO. 01 (APPLE VALLEY) FOR FISCAL YEAR 2025/2026

The City Council of the City of Atascadero (hereafter referred to as “City Council”) does resolve as follows:

WHEREAS, The City Council has by previous Resolution initiated proceedings for fiscal year 2025/2026 regarding the levy and collection of assessments for the Atascadero Landscaping and Lighting District No. 01 (Apple Valley) (hereafter referred to as the “District”). Pursuant to the provisions of the Landscaping and Lighting Act of 1972, Part 2, Division 15 of the California Streets and Highways Code (commencing with section 22500) (hereafter referred to as the “Act”), assessments for the District shall be levied and collected by the County of San Luis Obispo for the City of Atascadero to pay the maintenance and services of the improvements and facilities related thereto; and

WHEREAS, the proposed District assessments for fiscal year 2025/2026 are less than or equal to the maximum assessments previously approved in accordance with the requirements of the California Constitution, Article XIIID; and

WHEREAS, there has now been presented to this City Council an Engineer’s Annual Levy Report (hereafter referred to as the “Engineer’s Report”), and said Engineer’s Report has been filed with the City Clerk in accordance with the Act; and

WHEREAS, the City Council has examined and reviewed the Engineer’s Report as presented and is satisfied with the Report, each of the budget items and documents as set forth therein and is satisfied that the proposed assessments contained therein, have been spread in accordance with the benefits received from the improvements, operation, maintenance and services to be performed within the District, as set forth in said Report.

NOW, THEREFORE BE IT RESOLVED, by the City Council of the City of Atascadero, pursuant to Chapter 3, Section 22624 of the Act, as follows:

SECTION 1. The above recitals are true and correct.

SECTION 2. The City Council hereby declares its intention to seek the annual levy and collection of assessments within the District pursuant to the Act, over and including the lands, lots and parcels within the District boundary. The City Council further declares its intention to levy and collect assessments on such land to pay the annual costs and expenses of the improvements and services described in Section 4 of this Resolution, for fiscal year 2025/2026.

SECTION 3. The boundaries of the District are described in the Engineer’s Report and are consistent with the boundary established and described in the original formation documents, on file with the City Clerk, and incorporated herein by reference. The District is within the boundaries of the City of Atascadero, within the County of San Luis Obispo, State of California and includes the territory known as Apple Valley and referred to as the “Atascadero Landscaping and Lighting District No. 1”.

SECTION 4. The improvements within the District include the ongoing maintenance, operation and servicing of local landscaping and street lighting improvements established or installed in connection with development of properties within the District. These improvements generally include, but are not limited to the materials, equipment, utilities, labor, appurtenant facilities and expenses necessary for the ongoing maintenance and operation of public street lighting as well as landscaped parkways, medians, slopes, trails, park areas, drainage basins, open space areas and other designated easements or rights-ofway constructed and installed as part of the development plans and agreements approved for the development of each lot and parcel within the District.

SECTION 5. The proposed assessments for fiscal year 2025/2026, as outlined in the Engineer’s Report, do not exceed the maximum assessment approved by the property owners through a property owner balloting proceeding conducted in 2005. As such, the proposed assessments do not constitute an increased assessment and do not require additional property owner approval in accordance with the requirements of the California Constitution, Article XIIID.

SECTION 6. The City Council hereby declares its intention to conduct a Public Hearing concerning the District and the levy of assessments in accordance with Chapter 3, Section 22626 of the Act.

SECTION 7. Notice is hereby given that a Public Hearing on these matters will be held by the City Council on Tuesday, June 10, 2025, at 6:00 p.m., at the City Council Chambers, 6500 Palma Avenue, Atascadero, California or as soon thereafter as feasible. At the Public Hearing, all interested persons shall be given an opportunity to hear and be heard on the proposed assessment to be levied for fiscal year 2025/2026 as contained in the Engineer’s Report on file in the City Clerk’s Office.

SECTION 8. The City Clerk shall give notice of the time and place of the Public Hearing to all property owners within the District pursuant to Sections 22626, 22552 and 22553 of the Act and 6061 of the Government Code by publishing this Resolution of Intention in a local newspaper one time at least 10 days prior to the Public Hearing.

PASSED AND ADOPTED at a regular meeting of the City Council held on the 13th day of May 2025.

On motion by Council Member Peek and seconded by Council Member Funk, the foregoing Resolution is hereby adopted in its entirety on the following roll call vote:

AYES: Council Member Funk, Newsom, Peek, Mayor Pro Tem Dariz, Mayor Bourbeau

NOES: None

ABSENT: None

ABSTAIN: None

CITY OF ATASCADERO

Charles Bourbeau, Mayor

ATTEST: Lara K. Christensen, City Clerk

PUBLISH: 5/29/2025

RESOLUTION OF THE CITY COUNCIL OF THE CITY OF ATASCADERO, CALIFORNIA, DECLARING ITS INTENTION TO LEVY AND COLLECT ASSESSMENTS FOR THE ATASCADERO LANDSCAPING AND LIGHTING MAINTENANCE DISTRICT NO. 03 (DE ANZA ESTATES) FOR FISCAL YEAR 2025/2026

The City Council of the City of Atascadero (hereafter referred to as “City Council”) does resolve as follows:

WHEREAS, The City Council has by previous Resolution initiated proceedings for fiscal year 2025/2026 regarding the levy and collection of assessments for the Atascadero Landscaping and Lighting District No. 3 (hereafter referred to as the “District”). Pursuant to the provisions of the Landscaping and Lighting Act of 1972, Part 2, Division 15 of the California Streets and Highways Code (commencing with section 22500) (hereafter referred to as the “Act”), assessments for the District shall be levied and collected by the County of San Luis Obispo for the City of Atascadero to pay the maintenance and services of the improvements and facilities related thereto; and

WHEREAS, the proposed District assessments for fiscal year 2025/2026 are less than or equal to the maximum assessments previously approved in accordance with the requirements of the California Constitution, Article XIIID; and

WHEREAS, there has now been presented to this City Council an Engineer’s Annual Levy Report (hereafter referred to as the “Engineer’s Report”), and said Engineer’s Report has been filed with the City Clerk in accordance with the Act; and

WHEREAS, the City Council has examined and reviewed the Engineer’s Report as presented and is satisfied with the Report, each of the budget items and documents as set forth therein and is satisfied that the proposed assessments contained therein, have been spread in accordance with the benefits received from the improvements, operation, maintenance and services to be performed within the District, as set forth in said Report.

NOW, THEREFORE BE IT RESOLVED, by the City Council of the City of Atascadero, pursuant to Chapter 3, Section 22624 of the Act, as follows:

SECTION 1. The above recitals are true and correct.

SECTION 2. The City Council hereby declares its intention to seek the annual levy and collection of assessments within the District pursuant to the Act, over and including the lands, lots and parcels within the District boundary. The City Council further declares its intention to levy and collect assessments on such land to pay the annual costs and expenses of the improvements and services described in Section 4 of this Resolution, for fiscal year 2025/2026.

SECTION 3. The boundaries of the District are described in the Engineer’s Report and are consistent with the boundary established and described in the original formation documents, on file with the City Clerk, and incorporated herein by reference. The District is within the boundaries of the City of Atascadero, within the County of San Luis Obispo, State of California and includes the territory known as De Anza Estates and referred to as the “Atascadero Landscaping and Lighting District No. 03”.

SECTION 4. The improvements within the District include the ongoing maintenance, operation and servicing of local landscaping and street lighting improvements established or installed in connection with development of properties within the District. These improvements generally include, but are not limited to the materials, equipment, utilities, labor, appurtenant facilities and expenses necessary for the ongoing maintenance and operation of public street lighting as well as landscaped parkways, medians, slopes, trails, park areas, drainage basins, open space areas and other designated easements or right-ofways constructed and installed as part of the development plans and agreements approved for the development of each lot and parcel within the District.

SECTION 5. The proposed assessments for fiscal year 2025/2026, as outlined in the Engineer’s Report, do not exceed the maximum assessment approved by the property owners through a property owner balloting proceeding conducted in 2005. As such, the proposed assessments do not constitute an increased assessment and do not require additional property owner approval in accordance with the requirements of the California Constitution, Article XIIID.

SECTION 6. The City Council hereby declares its intention to conduct a Public Hearing concerning the District and the levy of assessments in accordance with Chapter 3, Section 22626 of the Act.

SECTION 7. Notice is hereby given that a Public Hearing on these matters will be held by the City Council on Tuesday, June 10, 2025, at 6:00 p.m., at the City Council Chambers, 6500 Palma Avenue, Atascadero, California or as soon thereafter as feasible. At the Public Hearing, all interested persons shall be given an opportunity to hear and be heard on the proposed assessment to be levied for fiscal year 2025/2026 as contained in the Engineer’s Report on file in the City Clerk’s Office.

SECTION 8. The City Clerk shall give notice of the time and place of the Public Hearing to all property owners within the District pursuant to Sections 22626, 22552 and 22553 of the Act and 6061 of the Government Code by publishing this Resolution of Intention in a local newspaper one time at least 10 days prior to the Public Hearing.

PASSED AND ADOPTED at a regular meeting of the City Council held on the 13th day of May 2025.

On motion by Council Member Peek and seconded by Council Member Funk, the foregoing Resolution is hereby adopted in its entirety on the following roll call vote:

AYES: Council Member Funk, Newsom, Peek, Mayor Pro Tem Dariz, Mayor Bourbeau

NOES: None

ABSENT: None

ABSTAIN: None

CITY OF ATASCADERO Charles Bourbeau, Mayor

ATTEST: Lara K. Christensen, City Clerk

PUBLISH: 5/29/2025

CITY

NOTICE IS HEREBY GIVEN that the Arroyo Grande City Council will conduct a public hearing on TUESDAY, JUNE 10, 2025 at 6:00 p.m., or soon thereafter, to consider the following item:

FISCAL YEAR 2025-27 BIENNIAL OPERATING BUDGET. The City Council will hold a public hearing to consider the proposed budget for the next two years, beginning on July 1, 2025. This public hearing is being conducted to provide an opportunity for input on the City’s proposed budget plan.

This City Council meeting is being conducted in a hybrid in-person/virtual format. During the public hearing, public comment will be limited to three (3) minutes per speaker, pursuant to current meeting procedure.

The City Council may also discuss other hearings or business items before or after the item listed above. If you challenge the proposed action in court, you may be limited to raising only those issues you or someone else raised at the public hearing described in this notice, or in written correspondence delivered to the City Council at, or prior to, the public hearing. Failure of any person to receive the notice shall not constitute grounds for any court to invalidate the action of the legislative body for which the notice was given.

Documents related to the budget are available in the Administrative Services Department located at 300 E. Branch Street, Arroyo Grande. The Agenda and reports are posted online at www. arroyogrande.org 72 hours prior to the meeting. Please call (805) 473-5420 for more information.

The City Council meeting will be televised live on Charter Cable Channel 20 and streamed live on the City’s Website

/s/Jessica Matson, City Clerk May 29, 2025

NOTICE OF PUBLIC HEARING AND SUMMARY OF ORDINANCE NO. 1159

Notice is hereby given that at its Regular Meeting on Tuesday, May 20, 2025, at 6:00 PM, the City Council of the City of El Paso de Robles adopted Ordinance No. 1159, An Ordinance Of The City Of El Paso De Robles Acting as the Legislative Body of City Of Paso Robles Community Facilities District No. 2022-1N (Olsen/South Chandler Ranch – Facilities), Levying Special Taxes

The following is a summary of the Ordinance:

Authorizes and levies special taxes within Improvement Areas 1, 3, and 5 of the CFD pursuant to California Government Code Sections 53328, 53338 and 53340, at the respective rates and in accordance with the Amended and Restated RMAs, included as exhibits to the ordinance. The special taxes for Improvement Areas 1, 3, and 5 of CFD will commence in Fiscal Year 2025-26, and in each fiscal year thereafter, pursuant to the Amended and Restated RMAs, as applicable, until payment in full of any bonds issued by Improvement Areas 1,3, and 5 of the CFD (the “Bonds”), payment of all costs of the facilities to be paid with such funds, and payment of all costs of administering the Community Facilities District, provided that the special taxes shall not be levied after Fiscal Year 2073-74.

Authorizes and directs Council each year to determine the specific special tax rate and amount to be levied for the next ensuing fiscal year for each parcel of real property within Improvement Areas 1, 3, and 5 of the CFD, in the manner and as provided in the Amended and Restated RMAs.

Properties or entities of the State, federal or local governments shall be exempt from any levy of the special taxes, to the extent set forth in the Amended and Restated RMAs. In no event shall the special taxes to be levied on any parcel within Improvement Areas 1, 3, and 5 of the CFD be in excess of the maximum tax specified in the Amended and Restated RMAs.

All of the collections of the special tax for Improvement Areas 1,3, and 5 of the CFD shall be used as provided for in the Act, the Amended and Restated RMAs, and in the Resolution of Formation of the Community Facilities District adopted on August 2, 2022, including, but not limited to, the payment of principal and interest on the Bonds, the replenishment of the reserve fund for any such Bonds, the payment of the costs of the public facilities for Improvement Areas 1,3, and 5 of the CFD, the payment of the costs of City in administering the Community Facilities District and the costs of collecting and administering the special taxes levied in the CFD. Ordinance No. 1159 was adopted by the City Council by the following unanimous vote:

AYES: Strong, Gregory, Bausch, Beal, Hamon

The Ordinance will take effect thirty (30) days after adoption, as provided by Government Code section 36937.

The above summary is a brief description of the subject matter contained in the text of the Ordinance, which has been prepared pursuant to Government Code Section 36933. This summary does not include or describe every provision of the Ordinance and should not be relied upon as a substitute for the full text of the Ordinance. Copies of the full text of the Ordinance are posted and available in the City Clerk’s office at 1000 Spring Street, Paso Robles, California or on the City’s website at www.prcity.com

Date: May 29, 2025 Melissa Boyer City Clerk

CITY OF GROVER BEACH

NOTICE OF PUBLIC HEARING

NOTICE IS HEREBY GIVEN that the City Council of the City of Grover Beach will conduct a Public Hearing at 6:00 p.m., or soon thereafter, on Monday, June 9, 2025 in City Hall, Council Chambers, 154 South Eighth Street, Grover Beach, CA to consider the following item:

SUBJECT:

1. PROPOSED WASTEWATER RATES – The City Council will

consider a new rate structure and proposed wastewater rates based on a comprehensive utility rate study conducted by an independent consultant. The study concludes that revenue projections for wastewater based on existing rates are insufficient to keep pace with increasing operating and capital improvement costs. The City Council will consider implementing the new rates as a series of annual revenue adjustments over the next five years.

A notice describing the proposed changes was mailed to Grover Beach wastewater customers or the owner of record of a property that receives wastewater services on April 25, 2025.

Where You Come In:

All are invited to attend the public hearing and be heard on the proposed adjustments service charges. Any owner or customer of record of a parcel subject to the proposed rates may submit a written protest against the proposed rate revisions up to the close of the public hearing. If written protests are filed with respect to 50 percent plus one of the affected property parcels, the proposed rate revisions will not be adopted. A written protest must contain the street address or Assessor’s Parcel Number (APN) for the parcel(s) with respect to which the protest is made. The protest must also be signed by the owner or customer. Customers may only sign the protest if they are directly liable for payment of the fee, otherwise owners are required to sign. Protests may be mailed, or hand delivered to Grover Beach City Hall offices at 154 South 8th Street, Grover Beach, CA, 93433. Protests may also be delivered to the City Clerk at the public hearing. To be valid, a signed written protest must be received by the City Clerk at or before the time of the protest hearing. There will only be one protest counted for each parcel.

For More Information:

A copy of the comprehensive utility rate study with the proposed rates and rate structure is available at the City Hall customer service counter during regular business hours. The study is also available on the City website at www.groverbeach.org and click on “Wastewater (Sewer) Rates” under Popular Links on the home page or go directly to: https://www.groverbeach.org/724/WastewaterSewer-Rates or call the Administrative Services Department at (805) 473-4550 during regular business hours.

The City Council may also discuss other hearings or items of business at this meeting. The complete meeting agenda and copy of the staff report on the above item will be available at the customer service counter at Grover Beach City Hall, as well as posted on the City website at www.groverbeach.org, at least 72 hours in advance of the meeting. Live broadcasts of City Council meetings may be seen on cable television Channel 20, as well as over the Internet at www.groverbeach.org (click on the icon “Government Access Local Channel 20” and then “Channel 20”).

If you challenge the nature of the proposed action in court, you may be limited to raising only those issues you or someone else raised at the Public Hearing(s) described in this notice, or in written correspondence delivered to the City at, or prior to, the Public Hearing (Govt. Code Sec 65009).

/s/ Wendi Sims, City Clerk

Dated: Thursday, May 29, 2025

PUBLISHED NOTICE INVITING BIDS

RIVERSIDE-CAPITOL HILL-ALMOND COURT WATER AND SEWER UPGRADES PROJECT NO. 24-04

SEALED BIDS will be received by the Public Works Administration, or designee, of the City of El Paso de Robles until July 10, 2025, at 2:00 p.m. for the Riverside-Capitol Hill-Almond Court Water and Sewer Upgrades, DPW Project No. 24-04. Please be certain that any bid submitted is sealed and addressed and noted as follows: City of El Paso de Robles Public Works Administration 4305 Second Wind Way Paso Robles, CA 93446 Sealed Bid for Riverside-Capitol Hill-Almond Court Water and Sewer Upgrades, DPW Project No. 24-04

Following the closure of the bid submittal period, bids will be publicly opened and read for performing work as follows: Furnishing all labor, materials, equipment, and performing all work necessary and incidental to the construction of the project known as Riverside-Capitol Hill-Almond Court Water and Sewer Upgrades, DPW Project No. 24-04, according to drawings and specifications prepared by the City of El Paso de Robles and according to the Contract Documents. The work shall include, but is not limited to, removing and replacing old water mains, valves, crosses, and tees, sewer mains, sewer laterals, and water services. Contractor to provide all necessary work plans, permits, and inspections necessary, all as shown on the plans and/or as specified herein.

Project is to be completed within One Hundred Fifty (150) WORKING days from the date specified in the Notice to Proceed. The Contractor shall pay to the City of El Paso de Robles the sum of Five Hundred Dollars ($500.00), for each and every calendar day’s delay in finishing the work in excess of the calendar day completion time.

The California Air Resources Board (“CARB”) implemented amendments to the In-Use Off-Road Diesel-Fueled Fleets Regulations (“Regulation”) which went into effect on January 1, 2024, and apply broadly to all self-propelled off road diesel vehicles 25 horsepower or greater and other forms of equipment used in California. A copy of the Regulation is available at https://ww2.arb.ca.gov/sites/default/files/barcu/regact/2022/offroaddiesel/appa-1.pdf Bidders are required to comply with all CARB and Regulation requirements, including, without limitation, all applicable sections of the Regulation, as codified in Title 13 of the California Code of Regulations section 2449 et seq. throughout the duration of the Project. Bidders must provide, with their Bid, copies of Bidder’s and all listed subcontractors’ most recent, valid Certificate of Reported Compliance (“CRC”) issued by CARB. Failure to provide valid CRCs as required herein may render the Bid non-responsive.

Copies of the Bid Documents are now on file and available for public inspection at Public Works Department at 4305 Second Wind Way, El Paso de Robles, California. Interested bidders must obtain copies of the documents electronically.

The Contract Documents will be available electronically, at no cost, at DemandStar Paso Robles, CA. Use the link DemandStar Paso Robles, CA to navigate to the website for out to bid projects.

To download the Bid Documents, the user must register as a user on the site. It is the responsibility of each prospective bidder to download and print all Bid Documents for review and to verify the completeness of Bid Documents before submitting a bid. Any Addenda will be posted at DemandStar Paso Robles, CA

DATE: June 10, 2025 TIME: 6:00 p.m.

PLACE: City of Atascadero Council Chambers 6500 Palma Avenue Atascadero, CA 93422

NOTICE IS HEREBY GIVEN that the City Council of the City of Atascadero will hold a PUBLIC HEARING in-person at the time and place above for the purpose of the adoption of a resolution ordering a levy and collection of assessments for fiscal year 2025-2026 for Street and Storm Drain Maintenance District No. 03 (De Anza Estates). A copy of the draft resolution can be viewed by appointment in the offices of City Hall, 6500 Palma Avenue, Atascadero, or by contacting the Administrative Services Department at (805) 470- 3428.

NOTICE IS FURTHER GIVEN that if a challenge to the above action is made in court, persons may be limited to raising only those issues they or someone else raised at the public hearing described in the notice, or in written correspondence delivered to the Council at, or prior to, the public hearing.

ALL INTERESTED PERSONS are invited to attend inperson and will be given an opportunity to speak in favor of, or opposition to, the above-proposed project. Written comments are also accepted by the City Clerk, prior to the hearing at 6500 Palma Ave., Atascadero, CA 93422 or cityclerk@atascadero.org and will be distributed to the City Council. Written public comments must be received by 12:00 p.m. on the day of the meeting.  Email comments must identify the Agenda Item Number in the subject line of the email. Written comments will not be read into the record.

Information regarding the hearing is filed in the Administrative Services Department. If you have any questions, please call Administrative Services or visit the office at 6500 Palma Ave., by appointment only, Monday through Friday 8:00 a.m. – 5:00 p.m. All documents related to the public hearing will be available for review on the City’s website 72 hours prior to the public hearing at www.atascadero.org/agendas

DATED: May 23, 2025 S/ Jeri Rangel, Administrative Services Director PUBLISH: 5/29/25

ORDINANCE NO. 25-01

AN ORDINANCE OF THE CITY COUNCIL OF THE CITY OF GROVER BEACH, CALIFORNIA ADOPTING CHAPTER 8 (FIRE HAZARD SEVERITY ZONES) OF ARTICLE VI (PUBLIC SAFETY) OF THE GROVER BEACH MUNICIPAL CODE TO DESIGNATE LOCAL FIRE HAZARD SEVERITY ZONES

WHEREAS the State Fire Marshal is responsible for identifying areas in the State as ‘Moderate’, ‘High’, and ‘Very High’ severity zones based on consistent statewide criteria and based on the severity of fire hazard that is expected to prevail in those areas; and, WHEREAS the California Department of Forestry and Fire Protection (CAL FIRE) released updated Fire Hazard Severity Zone (FHSZ) maps to the City of Grover Beach (the “City”) on March 10, 2025, designating areas within the City of Grover Beach (the “City”) as being in ‘Moderate’ fire hazard zones; and, WHEREAS in accordance with Government Code Section 51178.5, the City posted the FHSZ maps for public review and comment within 30 days of receiving the updated FHSZ maps; and, WHEREAS the City posted the FHSZ maps electronically to the City’s website, placed a hard copy to the City Hall bulletin board, and mailed courtesy notices to affected property owners for public review; and, WHEREAS under California Government Code Section 51179(a), the City is required to adopt the updated FHSZ maps by ordinance within 120 days of receiving recommendations from the State Fire Marshal pursuant to Section 51178, and transmit a copy to the State Board of Forestry and Fire Protection (Forestry Board) pursuant to Government Code Section 51179(c); and, WHEREAS, adoption of the updated FHSZ maps will promote public safety, ensure compliance with State law, and ensure current fire hazard assessments are reflected in local planning and regulatory processes; and, WHEREAS, the City Council hereby designates the FHSZ as recommended by CAL FIRE pursuant to Government Code Section 51178.

NOW THEREFORE, BE IT HEREBY ORDAINED BY THE CITY COUNCIL OF THE CITY OF GROVER BEACH, CALIFORNIA, AS FOLLOWS: SECTION 1 Section 6800 of Chapter 8 (“Fire Hazard Severity Zones”) of Article VI (“Public Safety”) of the Grover Beach Municipal Code is hereby adopted to read as follows: Sec. 6800. Fire Hazard Severity Zones. The City Council hereby designates the Fire Hazard Severity Zones as recommended by the California Department of Forestry and Fire Protection pursuant to Government Code section 51178. The map, approved by the City, is hereby incorporated by reference, and entitled “City of Grover Beach Fire Hazard Severity Zones.” The official map is located electronically on the following website: https://www.fivecitiesfireauthority.org/fire-hazardseverity-zones, and a hard copy can be made available at 154 S. 8th Street, Grover Beach, California, 93433. SECTION 2. SEVERABILITY. Each provision of this ordinance is severable, and the invalidity of any section or part thereof shall not affect the validity of its other provisions. SECTION 3 EFFECTIVE DATE This ordinance shall take effect and be in force thirty (30) days from and after its final passage. SECTION 4. PUBLICATION Within fifteen (15) days after passage, the City Clerk shall cause this ordinance to be published in a newspaper of general circulation.

INTRODUCED at a regular meeting of the City Council held on April 28, 2025, and PASSED, APPROVED, and ADOPTED by the City Council on May 27, 2025, on the following roll call vote to wit:

AYES: Council Members – McCorry-Driscoll, Tuggle, Weirick, Mayor Pro Tem Robert, and Mayor Dee

NOES: Council Members – None

ABSENT: Council Members – None

ABSTAIN: Council Members – None

/s/ KASSI DEE, MAYOR

Attest: /s/ WENDI SIMS, CITY CLERK

APPROVED AS TO FORM: /s/ Rob Lomeli, City Attorney

/s/ Wendi B. Sims, City Clerk

Dated: Thursday, May 29, 2025

It is the responsibility of each prospective bidder to check DemandStar Paso Robles, CA on a daily basis through the close of bids for any applicable addenda or updates. DemandStar Paso Robles, CA sends email notifications to ONLY those registered on their website. The City does not assume any liability or responsibility based on any defective or incomplete copying, excerpting, scanning, faxing, downloading or printing of the Bid Documents. Information on DemandStar Paso Robles, CA may change without notice to prospective bidders. The Contract Documents shall supersede any information posted or transmitted by any other vendor besides the City

Bidding procedures are prescribed in the Contract Documents.

Each bidder must submit bid security in one of the following forms: cash, cashier’s check payable to City, a certified check payable to City, or a bid bond in the form included with the bid documents, executed by an admitted surety insurer, made payable to City in an amount equal to at least 10% of the total amount of the bid or proposal.

Pursuant to Section 1770, et seq. of the California Labor Code, the successful bidder and all subcontractors shall pay not less than the prevailing rate of per diem wages as determined by the Director of the California Department of Industrial Relations.

Pursuant to Labor Code Section 1725.5, for bids due on or after March 1, 2015, all contractors and subcontractors that wish to bid on, be listed in a bid proposal for, or enter into a contract to perform work on the Project must be registered with the Department of Industrial Relations pursuant to Labor Code sections 1725.5 and 1771.1. No bid will be accepted, nor any contract entered into if the bidder is not registered as required by law.

Pursuant to Public Contract Code Section 22300, for monies earned by the Contractor and withheld by City of El Paso de Robles to ensure the performance of the Contract, the Contractor may, at its option, choose to substitute securities meeting the requirements of Public Contract Code Section 22300.

All bidders shall be licensed under the provisions of the Business and Professions Code to do the type of work contemplated in the project. In accordance with provisions of California Public Contract Code Section 3300, City has determined that the Contractor shall possess a valid Class A (General Engineering) License at the time that the bid is submitted. Failure to possess the specified license shall render the bid non-responsive.

The successful bidder will be required to furnish a payment bond in the amount equal to one hundred percent (100%) of the Contract Price, as well as a faithful performance bond, in the amount equal to one hundred percent (100%) of the Contract Price. The bonds shall be on the forms included in the Contract Documents.

City reserves the right to reject any or all bids; to make any awards or any rejections in what it alone considers to be in the best interest of City and waive any informalities or irregularities in the bids. The contract will be awarded, if at all, to the responsible bidder that submits the lowest responsive bid. City will determine the low bid.

Date: May 29, 2025

By: Ditas Esperanza P.E.

CITY OF ATASCADERO

Santa Lucia Road West Pavement Rehabilitation Project Project No. C2023R02

NOTICE IS HEREBY GIVEN THAT The City of Atascadero will receive bids for the “Santa Lucia Road West Pavement Rehabilitation Project” at the Atascadero City Hall, 6500 Palma Avenue, Atascadero, CA until July 3, 2025 at 1:30 P.M., when they will be publicly opened.

Proposals received after said time will not be considered. Proposals shall be submitted in a sealed envelope plainly marked with the project title, bidder’s name, and address.

The Contractor must possess a valid CLASS A CONTRACTOR’S LICENSE at the time of award. This project is subject to the payment of Prevailing Wages, therefore the Contractor shall pay all wages and penalties as required by applicable law.  Per SB 854 (Stat. 2014, Chapter 28), no contractor or subcontractor may work or be listed on a bid proposal unless registered with the DIR.  Every bid must be accompanied by a certified check/cashier’s check or bidder’s bond for 10% of the bid amount, payable to the City of Atascadero.

Bid packages will be available by May 28, 2025 to download for a fee of $22.00 on the City website, www.atascadero.org or at www.QuestCDN.com using project number eBid #9714774

Question may be directed to the City of Atascadero at 805-470-3180 or  dprice@atascadero.org

Run Dates: May 29, 2025 and June 5, 2025

NOTICE OF INTENTION TO ACQUIRE REAL PROPERTY

NOTICE IS HEREBY GIVEN pursuant to Government Code 25350 that it is the intention of the County of San Luis Obispo Board of Supervisors to acquire the real property described below. The Board of Supervisors will meet to conduct a public hearing and consider the consummation of this acquisition on the first floor of the County Government Center, 1055 Monterey Street, San Luis Obispo, on June 17, 2025 at 9:00 a.m. at which time and place any person interested may appear and be heard in regard to said acquisition, or on any matter pertinent hereto.

The Property is situated in the State of California, County of San Luis Obispo, Town of Oceano and is described as: 1655 Front Street (APN 062-271-023). The Grantor is the Oceano Community Services District, and the transfer of ownership is part of the Plan of Service in connection with the fire divestiture plan that has been approved by the Board of Supervisors. There is no monetary consideration included in the transaction. This notice is published pursuant to Government Code Section 6063 of the State of California. If you have any questions, please contact Sarah Diggs, County Real Property Manager with the County of San Luis Obispo, Central Services Department, Real Property Division at (805) 781-5206.

DATED: May 28, 2025

Matthew P. Pontes, Ex-Officio Clerk of the Board of Supervisors

By: Niki Martin Deputy Clerk

May 29, June 5, and 12, 2025

MAY 20, 2025 COUNTY OF SAN LUIS OBISPO BOARD OF SUPERVISORS MEETING BRIEF

Items 01-23: Consent Agenda & Resolution (Res) Nos. 2025-097105 thru 2025-108, approved as amended. Item 22, withdrawn & will return on 07/08/25.

Item 24: Public Comment Period – Items not on the agenda: C. Krueger; L. Jorgensen; G. Kirkland; S. Knowles; D. Yohe: speak.

Item 25: Res. 2025-109, necessity for the acquisition of real property interest required for the Chimney Rock Road Bridge over Franklin Creek Project, Paso Robles, adopted w/ direction to staff.

Item 26: FY 2024-25 3rd Qtr. Financial Status Report, rec’d & approved recommendations 1-26 as amended.

Item 27: Closed Session: Anticipated Litigation: Significant exposure to litigation - potential cases: 1. Initiation of litigation - potential cases: 1. Existing Litigation: SLO Coastkeeper, et. al. v. Co. of SLO, U.S. District Court, Central District of CA, Western Division, Case No. 2:24-CV06854-SPG-ASx; (4) Steinbeck Vineyards, et al. v. CO. of SLO, et al., SLO Superior Court Case No. 1-14-CV-265039; (5) L. Cooper, et. al v. Co. of SLO, et. al, U.S. District Court, Central District of CA, Western Division, Case No. 2:24-CV-08187-DDP-AJRx; Case name unspecified: disclosure would jeopardize existing settlement negotiations. Conference w/ Labor Negotiator re: employee organizations: SLOPA; SLOCEA-T&C; DCCA; Sheriffs’ Mgmt; SLOCPPOA; DSA; DAIA; SLOCPMPOA; SLOCEA – PSSC; Unrepresented Mgmt & Confidential Employees; SDSA; UDWA. Conference w/ Real Property Negotiators re: APNs: PNs: 002-324-010; 012; 002-326-021. Agency Negotiators: S. Diggs. Parties Negotiating: Judicial Council of CA. Instructions: Price, Terms & Conditions. Open Session. Report out.

Item 28: Updated report re: Winter 2023 storms impacts to road maintenance operations & the status of storm response efforts, rec’d; budget adjustment to increase appropriations for a storm loan payment in the amount equal to all 2023 storm reimbursement revenue rec’ through 6/30/25 & $4,000,000 budget adjustment to increase appropriations for ongoing 2023 storm recovery from an internal loan from the General Government Building Replacement designation, approved.

Item 29: Res. 2025-110, introducing the FY 2025-26 Recommended Budget (including special districts) for public review; schedules a public hearing to begin Monday, 6/9/25 in the Chambers at 9:00 am & orders publication of the required legal notices scheduling the public hearing, adopted.

Item 30: Board Members: passed a motion by 3-2 vote to draft a letter opposing offshore oil and gas leasing off California’s coast Federal Bureau of Ocean Energy Management. Passed a motion by 5-0 vote bring back the cannabis tax rate, proposing to maintain it at 6% on June 3rd. Further, comments on board seat openings for the Community Choice Aggregator (3CE) advisory group; recent engagement with the Latino Caucus; “We Heart Arroyo Grande” event in Arroyo Grande on May 31st; and the recent Sheriff’s Rodeo event. Furthermore, direction to staff was provided to bring back an appointment to Community Action Partnership of San Luis Obispo County (CAPSLO), confirmation re: representation on the Homeless Services Oversight Council (HSOC), and restructured representation for the Integrated Waste Management Authority (IWMA).

Meeting adjourned.

For more details, view meeting videos at: https://www.slocounty.ca.gov/ Departments/Administrative-Office/Clerk-of-the-Board/Clerk-of-theBoard-Services/Board-of-Supervisors-Meetings-and-Agendas.aspx

Matthew P. Pontes, County Administrative Officer & Ex-Officio Clerk of the Board of Supervisors

By: Annette Ramirez, Deputy Clerk of the Board of Supervisors May 29, 2025

AN ORDINANCE OF THE CITY COUNCIL OF THE CITY OF SAN LUIS OBISPO, CALIFORNIA, AMENDING SECTION 17.86.080 (“CANNABIS”) OF TITLE 17 (“ZONING REGULATIONS”) OF THE MUNICIPAL CODE TO CLARIFY SPECIFIC LAND USE AND OPERATIONAL REQUIREMENTS FOR COMMERCIAL CANNABIS ACTIVITY. THE PROJECT IS EXEMPT FROM ENVIRONMENTAL REVIEW (CEQA).

NOTICE IS HEREBY GIVEN that the City Council of the City of San Luis Obispo, California, at its Regular Meeting of May 6, 2025, introduced the above-titled ordinance upon a motion by Council Member Marx, second by Council Member Boswell, and on the following roll call vote:

AYES: Council Member Boswell, Francis, Marx, Vice Mayor Shoresman, and Mayor Stewart NOES: None ABSENT: None

Ordinance No. 1746 (2025 Series): This is a City Ordinance to amend Title 17 (Zoning Regulations) of the Municipal Code to clarify specific land use and operational requirements for commercial cannabis activity. The proposed amendments are exempt from environmental review under CEQA Guidelines Section § 15301(b)(3) (General Rule Exemption). Project Address: Citywide; CODE-0051-2025; Zones: C-R, C-S, M, BP; City of San Luis Obispo, applicant

A full and complete copy of the aforementioned Ordinance is available for inspection as part of the published agenda packet for the June 3, 2025 Council Meeting, or you may call (805) 781-7114 for more information.

NOTICE IS HEREBY GIVEN that the City Council of the City of San Luis Obispo will consider adopting the Ordinance at its Regular Meeting of June 3, 2025 at 5:30 p.m. in the Council Chambers at City Hall, 990 Palm Street, San Luis Obispo. The City Council meeting will be televised live on Charter Cable Channel 20 and live streaming on the City’s YouTube channel www. youtube.com/CityofSanLuisObispo

Teresa Purrington, City Clerk May 29, 2025

NOTICE: SEIZURE OF PROPERTY AND INITIATION OF NONJUDICIAL FORFEITURE PROCEEDINGS PER HEALTH AND SAFETY CODE SECTION 11488.4(J) TO: ALL PERSONS CLAIMING ANY RIGHT, TITLE, OR INTEREST IN PROPERTY DESCRIBED AS FOLLOWS:

$7,533.00 & $6,600.00 IN UNITED STATES CURRENCY

Notice is hereby given that on March 14, 2025, $7,533.00 was seized at or near 2121 Pine Street, Apt. B, Paso Robles, CA 93446 and $6,600.00 was seized at or near the intersection of Spring Street and 10th in Paso Robles, CA by the San Luis Obispo County Sheriff’s Office, in connection with cannabis violations, to wit, section(s) 11351, 11352, and 1136.8(a) of the California Health and Safety Code. The estimated/appraised value of the property is $14,133.00.

Pursuant to section 11488.4(j) of the California Health and Safety Code, you must file a verified claim stating your interest in the property with the Superior Court’s Civil Division, Room 385, County Courthouse Annex, 1035 Palm Street, San Luis Obispo, California 93408. Claim forms are available from the Clerk of the above court and also online at https://www.courts.ca.gov/ documents/mc200.pdf

Furthermore, an endorsed copy of the verified claim must also be served on the District Attorney, Asset Forfeiture Unit, County Courthouse Annex, 1035 Palm Street, 4th Floor, San Luis Obispo, California 93408, within 30 days of filing the claim with the Superior Court’s Civil Division.

Both the District Attorney’s Office and the Interested Party filing the claim are entitled to conduct reciprocal requests for discovery in preparation for a hearing. The provisions of the Code of Civil Procedure shall apply to the proceedings unless inconsistent with the provisions or procedures set forth in the Health and Safety Code (Section 11488.5(c)(3)). The Interested Party in entitled to legal representation at a hearing, although not one appointed at public expense, and has the right to present evidence and witnesses, and to cross-examine plaintiff’s witnesses, but there is no right to avoid testifying at a civil hearing.

The failure to timely file and secure a verified claim stating an interest in the property in the Superior Court will result in the property being declared or ordered forfeited to the State of California and distributed pursuant to the provisions of Health and Safety Code section 11489 without further notice or hearing.

DATED: May 19, 2025

DAN DOW District Attorney

Kenneth Jorgensen Deputy District Attorney

May 22, 29, & June 5, 2025

Free Will Astrology by

Homework: What do you understand well and should share with others who would benefit from it? Newsletter.freewillastrology.com

ARIES

(March 21-April 19): The strongest, most enduring parts of China’s Great Wall were the 5,500 miles built during the Ming Dynasty, 1368-1644. One secret to their success was sticky rice, an essential ingredient in the mortar. The resulting structures have been remarkably water resistant. They hold their shape well, resist weed growth, and get stronger as time passes. I hope you will find metaphorical equivalents to sticky rice as you work on your foundations in the coming months, Aries. Proceed as if you are constructing basic supports that will last you for years.

TAURUS

(April 20-May 20): The world’s most expensive spice is saffron. To gather one gram of it, workers must harvest 150 flowers by hand. Doesn’t that process resemble what you have been doing? I am awed by the stamina and delicacy you have been summoning to generate your small but potent treasure. What you’re producing may not be loud and showy, but its value will be concentrated and robust. Trust that those who appreciate quality will recognize the painstaking effort behind your creation. Like saffron’s distinctive essence that transforms ordinary dishes into extraordinary ones, your patient dedication is creating what can’t be rushed or replicated.

GEMINI

(May 21-June 20): Gemini author Jean-Paul Sartre was offered the Nobel Prize for Literature in 1964. But he rejected it. Why? He said that if he accepted it, he would be turned into an institution and authority figure, which would hinder his ability to critique politics and society. He was deeply committed to the belief that a writer has an obligation to be independent and accountable only to their conscience and audience, not to external accolades or validations. I think you are in a Sartre-like phase right now, dear Gemini. You have a sacred duty to be faithful to your highest calling, your deepest values, and your authentic identity. Every other consideration should be secondary.

CANCER

(June 21-July 22): You are now highly attuned to subtle energies, subliminal signals, and hidden agendas. No one in your sphere is even half as sensitive as you are to the intriguing mysteries that are unfolding beneath the visible surface. This may be a bit unsettling, but it’s a key asset. Your ability to sense what others are missing gives you a unique advantage. So trust your intuitive navigation system, Cancerian, even if the way forward isn’t obvious. Your ability to sense underlying currents will enable you to avoid obstacles and discern opportunities that even your allies might overlook.

LEO

(July 23-Aug. 22): Underground fungal networks are essential for the health of ecosystems. They connect plant roots and facilitate transfers of nutrients, water, and communication signals between various species. They enhance the fertility of the soil, helping plants thrive. In accordance with astrological indicators, I invite you to celebrate your equivalent of the underground fungal network. What is the web of relationships that enables you to thrive? Not just the obvious bonds, but the subtle ones, too: the barista who has memorized your order, the neighbor who waters your plants when you’re away, the online ally who responds to your posts. Now is an excellent time to map and nurture these vital interconnections.

VIRGO

(Aug. 23-Sept. 22): Virgo author Chimamanda Ngozi Adichie warns about “the danger of a single story.” She tells us that authentic identity requires us to reject oversimplified narratives. As a Nigerian woman living in the U.S., she found that both Western and African audiences sought to reduce her to convenient categories. She has not only resisted that pressure, but also outwitted and outflanked it. Her diversity is intriguing. She mixes an appreciation for pop culture with serious cultural criticism. She addresses both academic and mainstream audiences. I offer her up as your role model, Virgo. In the coming weeks, may she inspire you to energetically express all your uncategorizable selves.

LIBRA

(Sept. 23-Oct. 22): Where have you not yet traveled but would like to? What frontiers would your imagination love for you to visit, but you have refrained? Now is the time to consider dropping inhibitions, outmoded habits, and irrelevant rules that have prevented you from wandering farther and wider. You have full permission from life, karma, and your future self to take smart risks that will lead you out of your comfort zone. What exotic sanctuary do you wish you had the courage to explore? What adventurous pilgrimage might activate aspects of your potential that are still half-dormant?

SCORPIO

(Oct. 23-Nov. 21): Astrologers say that Scorpio is ruled by three creatures that correspond to three ascending levels of spiritual maturity. The regular Scorpio person is ruled by the scorpion. Scorpios who are well underway with their spiritual work are ruled by the eagle. The Scorpio who has consistently succeeded at the hard and rewarding work of metaphorical death and resurrection is ruled by the phoenix—the mythical bird that is reborn from the ashes of its own immolation. With this as our context, I am letting you know that no matter how evolved you are, the coming weeks will bring you rich opportunities to come more into your own as a brilliant phoenix.

SAGITTARIUS

(Nov. 22-Dec. 21): Seas off the coast of Singapore are heavily polluted. Some of the coral reefs there are showing resilience, though. They have developed symbiotic relationships with certain algae and bacteria that were formerly hostile. Their robustness lies in their adaptability and their power to forge unlikely alliances. That’s a good teaching for you right now. The strength you need isn’t about maintaining fixed positions or rigid boundaries, but about being flexible. So I hope you will be alert and ready to connect with unfamiliar resources and unexpected help. A willingness to adjust and compromise will be a superpower.

CAPRICORN

(Dec. 22-Jan. 19): Sometimes, disruptions are helpful prods that nudge us to pay closer attention. An apparent malfunction might be trying to tell us some truth that our existing frameworks can’t accommodate. I suspect this phenomenon might be occurring in your world. An area of your life that seems to be misfiring may in fact be highlighting a blind spot in your comprehension. Rather than fretting and purging the glitches, I will ask you to first consider what helpful information is being exposed. Suspend your judgment long enough to learn from apparent errors.

AQUARIUS

(Jan. 20-Feb. 18): This isn’t the first time I’ve said that your ideas are ahead of their time. Now I’m telling you again, and adding that your intuitions, feelings, and approaches are ahead of their time, too. As usual, your precociousness carries both potential benefits and problems. If people are flexible and smart enough to be open to your innovations, you will be rewarded. If others are rigid and oblivious, you may have to struggle to get the right things done. Here’s my advice: Focus on the joy of carrying out your innovations rather than getting caught up in fighting resistance.

PISCES

(Feb. 19-March 20): Sunlight can’t penetrate deeper than 3,280 feet into the ocean’s depths. Even at 650 feet down, a murky twilight zone prevails. But nearly 75 percent of deep-sea creatures can create their own light, thanks to a biochemical phenomenon called bioluminescence. Jellyfish, starfish, and crustaceans are a few animals that glow. I propose we make them your symbols of power in the coming weeks, Pisces. I hope they incite you to be your own source of illumination as you summon all the resilience you need. If shadowy challenges arise, resolve to emit your steady brilliance. Inspire yourself and others with your subtle yet potent clarity. ∆

Turn static files into dynamic content formats.

Create a flipbook
Issuu converts static files into: digital portfolios, online yearbooks, online catalogs, digital photo albums and more. Sign up and create your flipbook.