

![]()


By Gary Nager
One young Iranian-American woman decides that she wants to start wearing a hijab (the Muslim head scarf), while another decides she doesn’t want to wear one anymore.
A discussion at the local mosque on Morris Bridge Rd.? Perhaps, but it’s also the basis of the story for “American Fabric,” a short film being shot in part in the K-Bar Ranch community that is being directed by K-Bar resident and local gastroenterologist Dr. Nyla Hazratjee.
Nyla, who also wrote the script for “American Fabric,” is already an award-winning filmmaker. She was the executive producer of the full-length feature film “The Persian Version,” a heartwarming “dramedy” that made its debut at the 2023 Sundance Film Festival and ended up winning two prestigious awards there — the Audience Award for the U.S. Dramatic Competition and the Waldo Salt Screenwriting Award for writer/director Maryan Keshavarz.
But, Nyla says that “American Fabric” is her first foray into writing and directing a film herself and she called our office just a couple of days before we went to press with this issue to invite us to her home in K-Bar Ranch to take pictures and interview her. She told me that her short film, which she hopes to have completed in time for the domestic film festival season this spring and summer, is “really about empowering women.”
See “American Fabric” on pg. 24
Our editor is looking for judges for a chickentasting contest; Plus, Happy Birthday, Hope!
See page 3










An Editorial by GARY NAGER
Despite all of the nasty online comments about the sheer number of chicken places now located in or adjacent to Wesley Chapel, the fact is that we probably wouldn’t have quite so many chicken-only (or predominantly chicken) places if there wasn’t a demand for them. And, it seems that most locals have both their favorites and least favorites among the following (in alphabetical order):
Chicken Guy!
Chick-fil-A
Chick’n Fun
Dave’s Hot Chicken
Hangry Joe’s Hot Chicken
PDQ
Popeye’s
Raising Cane’s
Slim Chickens
Sweet Krunch Korean Fried Chicken
Zaxby’s
Since I am not the biggest “fast food” chicken enthusiast myself, I have decided to give those of you who claim to be true lovers of fried chicken an opportunity to be judges in a Neighborhood News-sponsored contest to find Wesley Chapel’s favorite fast-casual chicken place! I haven’t figured out all of the details yet of how it will work — for example, will there be separate contests for spicy vs. non-spicy chicken? Will it be a blind taste test at one neutral location vs. will we have the judges visit the places individually? How many judges will we have?, etc. — or when it will be. I also don’t know if any of the places listed will agree to be part of it, but if you’re interested in being one of the judges, please email me at ads@ntneighborhoodnews.com with your contact info (name, daytime phone number & community you live in) and “I want to be a chicken contest judge” in the subject line!
So far, we only have a handful of respondents to my editorial in the Feb. 18 Wesley Chapel issue (and in an online post on Feb. 19), so feel free to email me, per my instructions above, to let me know you’re interested. Please note that there will not be any cost to the judges for participating!
Happy Birthday, Hope!
North Tampa Bay Chamber (NTBC) president and CEO Hope Kennedy and I had never met before she became the president of the Greater Wesley Chapel Chamber of Commerce (WCCC) more than a dozen years ago.
From the day she took over, Hope immediately began transforming what had been a basically do-nothing, 15-year-old networking group which hosted free events at a handful of local businesses, attended by only a handful of people, into an actual Chamber of Commerce which not only hosted larger-scale events but also engaged in making policy decisions and lobbying local and state governments on behalf of the business community in Wesley Chapel.
She then oversaw the purchase/absorption of the short-lived New Tampa Chamber in 2015 and of the Great Pasco Chamber in 2017 and changed the WCCC’s name to NTBC in 2018.

Hope has rightfully become a powerful

and influential figure in the North Tampa Bay area, who is often asked to speak at major groundbreaking events for everything from local hospitals to new developments and many more.
Jannah and I are proud to number Hope among our closest friends and were honored to attend her surprise 50th birthday party, thrown by her boyfriend Matt Warticki, at American Social on Harbour Island on Feb. 21.
But, don’t think just because she’s gotten a little older (haven’t we all?) that Hope plans to slow down anytime soon. In fact, she and her NTBC Board have publicly thrown their support — and want to lead — the path towards incorporating Wesley Chapel as its own city! Stay tuned on that!
(L.-r. in photo) Allen Coleman & Michael Berthelette of Platinum Salon, Hope Kennedy & Gary & Jannah Nager at Hope’s 50th birthday bash at American Social.



(813) 910-2575
Advertising E-mail:
Ads@NTNeighborhoodNews.com
Editorial E-mail:
EditorialDept@NTNeighborhoodNews.com
Publisher & Editor/Ad Sales
Gary Nager
Correspondents
Celeste McLaughlin • Turiya Autry
Joel Provenzano • Iris Vitelli
Editorial Research by Joel Provenzano
Ad Sales/Marketing Director
Jannah Nager
Lead Video Producer/Multimedia Specialist
Charmaine George
Graphic Designers
Georgia Carmichael • Valerie Wegener
Nothing that appears in New Tampa Neighborhood News may be reproduced, whether wholly or in part, without permission. Opinions expressed by New Tampa Neighborhood News writers are their own and do not necessarily reflect the publisher’s opinion.
The deadline for outside editorial submissions and advertisements for Volume 33, Issue 7, of New Tampa Neighborhood News is Thursday, March 20, 2025.
New Tampa Neighborhood News will consider previously non-published outside editorial submissions if they are double spaced, typed and less than 500 words. New Tampa Neighborhood News reserves the right to edit and/or reject all outside editorial submissions and makes no guarantees regarding publication dates.
New Tampa Neighborhood News will not return unsolicited editorial materials.
New Tampa Neighborhood News reserves the right to edit and/or reject any advertising. New Tampa Neighborhood News is not responsible for errors in advertising beyond the actual cost of the advertising space itself, nor for the validity of any claims made by its advertisers.
By Joel Provenzano Neighborhood News Correspondent
On Feb. 20, history was made. It was reported that, for the first time ever, Amazon had surpassed Walmart in quarterly revenue — $187.8 billion to $180.5 billion in the fourth quarter of 2024. Investors immediately took notice and Walmart’s stock dropped nearly 7%. Walmart still led Amazon in annual revenue for 2024, however — $674 billion to Amazon’s $638 billion — as the Bentonville, AR-based Walmart barely kept its title as the world’s biggest retailer.
Some might think that Walmart is starting to lose because its sales are going down, and that its business model is archaic, but Walmart actually has continued to grow year-over-year, with explosive growth over the last three years. In fact, Walmart’s revenues for 2024 were the highest they’ve ever been — 6% higher than in 2023.
So, who would think that in the world of big retail, New Tampa would get something the rest of the nation doesn’t yet have? This “not so secret weapon,” which will be pilot-tested soon, is part of Walmart’s plan to hang onto the #1 spot. Lasers? Robots? Artificial Intelligence? How about all three? Yes, seriously!
The New Tampa Walmart on Bruce B. Downs (BBD) Blvd, just south of Wharton High, is a very busy store. Although not the biggest or busiest in the nation, it still serves thousands of customers every day. And, with Walmart desperately trying be the nation’s leader in customer service, how does the New Tampa Walmart store figure into that equation? And, why are the

recently installed robotic towers at the New Tampa Walmart still sitting unused (photo)?
Taking up more than half of the store’s exterior garden center, the large blue “AutoDispense Towers” (as they were officially called) have given us a glimpse into the future of the retailer, even if they were slightly ahead of their time. And, these unassuming structures might hold part of the key to Walmart’s continued success nationwide.

handle orders with cold groceries.
If you pull up to the store on the Wharton side, you might wonder, “What in the heck are these things?,” as they remind us of the classic drive-up bank ATM/teller lines, and honestly, that’s not too far off from their actual purpose.
There currently are eight parking spaces under the awnings where customers can pull up and park next to individual roll-up doors, get out, walk over to the screen, type in their Walmart order number, and their orders are sent via blue crates on a rail system inside the building (through the thick blue part of the roof), down to the waiting vehicle, where the roll-up door will open, allowing the customer to load their order directly into their vehicle.
This is all supposed to be done automatically by a robotic retrieval system that was called “Alphabot,” working in the 27,000 sq. ft. backof-house Market Fulfillment Center (MFC). It was a truly cutting-edge concept that can even


But, while the towers, the system, and the fulfillment center were installed in 2023 and were supposed to be operational for customers by sometime last year, the rollout of the automated system was delayed for reasons unknown, despite multiple in-person inquiries at the store that went unanswered by management for over a year. We were told it was corporate policy not to talk about the stores, even though management was more than happy to explain the system’s purpose when we wrote our first article about them back in 2023, called “Walmart to Begin Utilizing Robotic Order Fulfillment by Next Year.”
We had heard some rumblings that the wait times for products to be delivered through the system were too long, and that the program was possibly being completely scrapped because the revamped curbside pickup area just worked better.
These rumors didn’t seem too far-fetched, as this was only the 2nd store in the U.S. to get this new technology (in addition to Walmart’s flagship store in Bentonville), so maybe it hadn’t worked as was hoped, and was being abandoned,
as was the drone delivery service the New Tampa store was among the first to have back in 2023 that actually was abandoned last year.
What we have found out is that Walmart is not scrapping the automated customer fulfillment program, and that another company contracted by Walmart will be perfecting it for them.
Convenience has become a big issue for Walmart, since the company believes its customers want and are even willing to pay extra for it, and that this focus will keep the retailer at the top of the retail sector. According to Walmart.com, “Approximately 90% of the US population lives within 10 miles of a Walmart or Sam’s Club,” but as we all know, times are changing and, especially with the growth of Amazon and other home delivery services, customers still want more.
Walmart has been leading the way in customer convenience for years. In 2000, around the time the New Tampa store was breaking ground, Walmart.com was launched, allowing customers to shop online. And, in 2007, the website introduced ‘Site to Store’ which allowed customers to order online and pick up in-store.
The company also helped pioneer self check-out in the early 2000s, which then became commonplace in Walmart stores in the 2010s. In 2013, curbside pickup was introduced at a Denver location, and added to 1,000 locations by 2017. The New Tampa store has a fully revamped curbside pickup, now with up to 45 numbered spots available on the north side of the store.
Walmart first introduced its big orange in-store pickup towers in 2016, but discontinued



them after less than five years. The towers were used to pick up online orders and were partially robotic, operating like a big vending machine at the front of the store.
Today, the company’s most ambitious program, the “Walmart Plus” subscriptions — which are similar to an Amazon Prime membership — are soaring, offering free grocery and product delivery for $12.95 a month, but with an option to have your items delivered within three hours for an extra fee. According to Walmart, the extra fees accounted for a whopping 30% of all Walmart Plus orders. The company has set itself up to offer same-day service to 93% of US households, chief financial officer John David Rainey explained during a recent investor call in February.
“We’re strengthening our ability to serve people how they want to be served in the moment,” chief executive officer Doug McMillon has said, “That’s what’s driving our growth.” And, McMillon is doubling down on the convenience strategy. “If I could change anything about how we’re perceived today, it’d be that more people know about our breadth of assortment online and our increasing delivery speed.”
Although we haven’t had any confirmation from Walmart, part of the reason why the New Tampa store’s automated system isn’t yet operational for customers may have to do with the fact that, on Jan. 16, Walmart announced that it had agreed to sell its “Advanced Systems & Robotics” business, based in Andover, MA, which had been developing the company’s proprietary Alphabot system, to a publicly traded company called Symbotic (NASDAQ stock ticker SYM), for $200 million cash at close, with consideration for $350 million more (or $550 million total),
depending upon how much business Walmart does with the company.
Then, Walmart will turn around and pay Symbotic $230 million at close, with another $290 million over time (or $520 million total), as a contractor to install the robotic systems in Walmart stores. Confusing, right?! That’s business!
Since 2022, Walmart has been a big investor in Symbotic and, as of Dec. 2024, the retailer owned 15 million Symbotic shares valued at more than $400 million.
It makes sense that Walmart is heavily invested in Symbotic and paying the company a hefty sum in the deal, because, in the announcement, Symbotic said that, “Walmart has chosen Symbotic to develop, build and deploy an advanced solution leveraging Symbotic’s A.I.-enabled robotics platform to offer Walmart customers greater shopping convenience through accelerated online pickup and delivery options at stores.”
The announcement also said that, as part of the deal, “If performance criteria [for the robotics platform] are achieved, Walmart is committed to purchasing and deploying systems for 400 APDs at stores over a multi-year period, with Walmart’s option to add additional APDs in the coming years.” APD stands for Accelerated Pickup and Delivery centers, which is just a fancy name for the Market Fulfillment Centers (MFC), just like the one that was built in the New Tampa store that isn’t yet available to fill customer orders.
According to this news, since Symbotic acquired the part of Walmart that first developed the robotic technology, one could assume the company will be perfecting the Alphabot technology and deploying it to the New Tampa store when it’s ready, and then construct the system in 400 Walmart stores as part of the initial agreement.




By Luis Viera District 7, Tampa City Council
On January 14, 2025, a special woman passed: Kendra Kay Holden (right photo). If you ever went to the New Tampa Panera Bread, you probably saw Kendra there. Kendra worshiped at St. James United Methodist Church, worked as a teaching assistant at Hunters Green Elementary and served as a Best Buddies Ambassador representing people with intellectual disabilities.
Her obituary read in part: “Kendra loved God, Days of Our Lives, General Hospital, Vera Bradley Bags, Sonny’s BBQ, Olive Garden, outlet malls, Christmas movies, Cracker Barrel, unicorns, butterflies, Coke Zero and colorful bands for her Apple Watch.”
Every time I walk into that Panera Bread, I will think of dear Kendra. She was a special child of God.
Speaking of those who are differently abled, I recently got to see our friends in The Penguin Project perform their most recent show, “Seussical Jr.”
I can not tell you how proud I am of this group from the New Tampa Players. This effort allows people with intellectual disabilities to take part in a first-rate production play with the help of their artist peers.
I always get emotional seeing the plays – because I think of my brother, Juan, who is


intellectually disabled, and how I would see him as a young person at church plays or in the Special Olympics. I am proud of Juan. And I know that the moms and dads in the audience are so proud of their young people participating in the Penguin Project.
I have worked to have Tampa give $150,000 to this special New Tampa project. That is money well spent.
Here in New Tampa, we are a diverse community. We are one community of Americans – but with different faiths and cultures. That is New Tampa and that is America.
Go to Arlington National Cemetery and take a look at the graves of our heroes – especially
in Section 60. You will find Christian crosses. You will find Stars of David for our Jewish friends. And you will find the crescent moon and star for our Muslim friends.
I will always stand for the idea of the Family of Tampa. That includes the American Jewish family that fled Europe in the 1930s to come to this new country. That includes the refugee Muslim family in New Tampa with anxiety for their loved ones in Afghanistan. That includes members of the Sikh faith, the Hindus, Buddhists, evangelical Protestants and Roman Catholics.
We all do better when we all do better. And we all do better when we all belong. I will stand for that always. I have and will continue to take political “hits” for that ideal gladly — because it is the right thing to do and that is America to me.
I have represented District 7 on the Tampa City Council since 2016, but all good things must come to an end — per the City of Tampa’s Charter. I am term limited out of this office in 2027. It’s no secret that I love my 33647 constituents. I work hard for you because I see public service as a blessing. As Neighborhood News editor Gary Nager reported in an online post on Feb. 16, I plan on making a decision soon on what I will do next. That will not, however, include running for Mayor of Tampa. If I choose to try to succeed my dear friend, Florida House District 67 Representative Fentrice Driskell (who has said that her reelection last year will be her final two-year term in office), I will have big shoes to fill.
But, I will do what I have done here locally: work hard, build bridges and fight for what I believe in.
You guys know me well. You know my values. You know my work ethic. And you know not only where I stand, but that I stand.
While introducing District 7 Tampa City Council member Luis Viera, who was the guest speaker at the North Tampa Bay Chamber of Commerce (NTBC)’s monthly Business Breakfast on Feb. 4, NTBC president & CEO Hope Kennedy mentioned that she had heard Viera might be considering a run for Mayor of Tampa.




But (as it says earlier in his column on the previous page), Viera said he was more interested in a run for the District 67 State House seat currently occupied by House Minority Leader Fentrice Driskell, or a possible Hillsborough County Commission run in 2026.
Since that Feb. 4 meeting, Viera says he has been approached by multiple media outlets about his plans going forward. He also says he is mulling over the possibility of running not only for Driskell’s Dist. 67 State House seat, but also for one of the three County Commission seats up for election in 2026.
“I haven’t made a decision yet,” Viera says. “But, once I announce which of those offices I will choose to run for, I will have to give up my City Council seat before my term ends.”
Even though he is a registered Democrat (City of Tampa elections are all nonpartisan), the 47-year-old Viera also discussed (at the Chamber breakfast) his ability to work with other political
office holders — including reaching across the political aisle — in Hillsborough and Pasco counties, as well as with Rep. Driskell, Dist. 20 State Senator Danny Burgess and with Dist. 15 U.S. Congresswoman Laurel Lee.
He also talked about New Tampa’s status as the “Alaska” of the City of Tampa, zip code 33647’s cultural diversity, as well as what he has accomplished in the nine years since winning his first election — by 65 votes in the two-candidate Special Election runoff in Nov. 2016 — over fellow New Tampa resident Dr. Jim Davison.
Among the accomplishments he listed at the breakfast were securing funding to expand the New Tampa Rec Center, add Tampa’s first AllAbilities Park, for Tampa Fire Rescue Station No. 23 on Cross Creek Blvd. (and his ongoing efforts to put an additional fire station in K-Bar Ranch), road repaving in Tampa Palms and for the new park (and possible cricket pitch) in K-Bar Ranch.
— Chamber breakfast recap by Gary Nager




By Gary Nager
When it was announced back in December that Pasco County had reached an agreement in principle with Wiregrass Ranch developer JD Porter and his Locust Branch LLC development company on Phase 1 of Legacy at Wiregrass Ranch — the 30-acre area set aside by Porter to serve as his uniquely urban downtown — Porter and his chief operating officer Scott Sheridan thought that it would only be a matter of weeks before they would be able to begin moving dirt.
But now, more than eight weeks (at our press time) after that agreement in principle was reached, Porter and Sheridan — in an exclusive sit-down with yours truly — said they are still waiting.
“We need to get Phase 1 of Legacy at Wiregrass going now,” Porter said. “We’re trying to time the opening of the downtown area — with all of its office and retail — with the opening of the Orlando Health Hospital (which will be the largest in Wesley Chapel and is expected to be done in early 2026). We estimate that if we get started right away, Phase 1 of Legacy could be completed within a few months after the hospital’s opening.”
Sheridan added, “The good news is that we already have most of the infrastructure needed for Legacy in place. We’re ready.”
For anyone who hasn’t heard, Pasco’s Board of County Commissioners unanimously approved the “term sheet” for Legacy at Wiregrass Ranch — where the financial plan for what Commission chair (and Dist. 3 commissioner) Kathryn Starkey called “Pasco County’s downtown” on Dec. 10.
Part of the agreement announced in December are ad valorem tax incentives for the developer of $50 million total, spread over 30 years, to offset the $85 million in Wiregrass Ranch’s investment in public infrastructure for Phase One alone. Sheridan and Porter estimate that the construction costs for the entire Legacy project are between $400-$500 million.
Sheridan said that Wiregrass Ranch, the 5,100-acre cattle ranch owned by Porter and his family — which is less than 40% developed at present — already provides a tax base of $1.5 billion, with nearly $11 million annually in county operating revenue. At buildout, he says, that tax base is projected to be as much as $6 billion, with about $50 million in annual revenues for the county.
Among the elements planned for Legacy’s first phase (of 130 acres total set aside for the two phases of Legacy) are 150,000 sq. ft. (in two 75,000-sq.-ft. buildings) of office space, adjacent to the 150,000 sq. ft. of office space (in one 90,000-sq.-ft. and one 60,000-sq.-ft. building) now under construction on Orlando Health’s campus, next to the hospital. “Quite honestly,” Sheridan said. “That 300,000 square feet of office will look like one large master development.”
Sheridan also noted that Wiregrass Ranch and an unnamed partner also are developing an additional 100,000 sq. ft. of office space in two buildings to the west of Wiregrass Ranch Blvd.
One of the most important parts of the first phase of Legacy is a $37-million, five-story park-


The map above shows the location of Legacy at Wiregrass Ranch between S.R. 56 and Chancey Rd. The two maps on the next page are turned on their sides (north is actually to the left instead of up in both) to show Legacy’s proximity to the under-construction Orlando Health Hospital complex, which is actually located south & to the east of Legacy. The bottom rendering shows the urban look and feel of Legacy. (All maps & renderings provided by Wiregrass Ranch)
ing structure with about 1,500 spaces to serve the office buildings, retail and 150,000-sq.-ft. “eatertainment” complex, all within walking distance of each other, as well as of a planned 150-room hotel and 820 multi-family apartments. If you’ve ever been to the new Midtown Tampa, Porter said that Legacy at Wiregrass is about 30% larger. The hotel and apartment buildings also are expected to be four and five stories tall.
“This type of density is definitely urban,” Sheridan said. “It’s not suburban sprawl, because we’re doing on 30 acres what Pasco usually puts on 100 acres.”
‘Eatertainment’ Galore!
The part of the agreement for Legacy announced in December that yours truly is most excited about is the 150,000-sq. ft.. “Eatertainment” complex. Sheridan says that this area will include an Armature Works-style food hall, upscale retail stores, some “jewel box” standalone restaurants, a concert hall with about 1,500 seats immediately adjacent to the parking structure (photo above), plus a hotel, conference center and public art.
And, although Sheridan and Porter weren’t willing to name any of the potential tenants or
operators they’ve spoken with to put restaurants in Legacy, both mentioned having conversations with operators of restaurants on Water St. in downtown Tampa, Beach Dr. in downtown St. Pete and other upscale Bay-area dining areas.
“Legacy has been designed by Torti Gallas + Partners,” Sheridan said, “the same firm that designed GasWorx in Ybor City, the Silversaw apartments (next to the Hyatt Place Tampa-Wesley Chapel hotel) and many of the most beautiful mixed-use projects across the country. And, they told us that Legacy at Wiregrass is unique in its location, planning and design.”
Porter added, “Most of the time, when projects like these are approved, the developer first has to put in the infrastructure, but most of that is already in place in Legacy. We’re ready to begin building as soon as we get the final word from the county that we can begin.”
To which Sheridan added, “We don’t need another County Commission vote. All we need is for the Planning & Economic Development department to finalize the agreement.”
He also noted that until the agreement with the county has been finalized, “We can’t finalize deals with the tenants we’ve been talking with for the retail and restaurant spaces. But, as soon as we’re able to close those deals, we know the community is going to be excited about them.”
To which Porter added, “These are not going to be the same retail strip centers with the same type of tenants that you see everywhere else in Pasco.”
Sheridan also says that residents in the multi-family apartments will not be parking in the main garage structure. Instead, they





will have their own parking structure. At the Dec. BOC meeting, Dist. 5 commissioner Jack Mariano requested that some of those rental units be converted to townhomes for “workforce housing,” but still voted to approve the Legacy agreement in principle without any such conversion being promised by Sheridan or Porter.
“And, even though they’d have to cross S.R. 56 to do so,” Porter said, “students and staff from the Porter Campus at Pasco Hernando State College can even walk to Legacy.”
He added, “We’re not just doing the same thing everyone else in Pasco does. We want this to be the kind of place people are drawn to for years to come.”
The Orlando Health construction is moving along nicely, and the $300-million hospital complex, which sits on 47 acres at the corner of S.R. 56 and Wiregrass Ranch Blvd., just south and east of Legacy, will include 102 beds when it opens and 300 when it is built out.


Porter and Sheridan also mentioned that although Pasco had yet to finalize its deal with Sports Facilities Companies of Clearwater to take over the management of the Wiregrass Ranch Sports Campus, “The county picked the best possible operator to take over,” Porter said. “It would just be nice to hear that the deal is finalized, because, in our agreement for the land we donated for it, the county (which has been managing the Sports Campus since buying out the management contract of RADDSports in 2023) was never supposed to be managing that facility.”
Porter also said that with the success of Cooper’s Hawk Winery & Restaurant on the north side of S.R. 56 (at Lajuana Blvd.), “we’ve been having some pretty serious negotiations with a number of restaurant operators — some successful Tampa Bay-area operators and some top-level chains” — for the restaurant pads adjacent to Cooper’s Hawk.
For more information about Wiregrass Ranch, visit TheWiregrassRanch.com.


















































By Joel Provenzano Neighborhood News Correspondent
Local Tesla owners, both current and future, will soon have reason to celebrate. There are two new developments taking shape alongside I-75 in Seven Oaks, just south of the S.R. 54 exit, across Eagleston Blvd. from the existing Blue Heron Senior Living facility (see map).
Tesla, the electric vehicle (EV) powerhouse, recently poured the future dealership’s concrete foundation (photo, right) for a new one story building, which should be a little over 50,000 sq. ft. total on about eight acres. According to the description in Tesla’s permit, the new dealership will include a service center for electric automobiles, a showroom area, a customer lounge, a break room and office space.”
The service area is slated to be about 41,000 sq. ft., which is downright huge for any dealership (with more than 50 service bays), leaving just 9,000 sq. ft. for all of the other functions. There will be 20 charging station parking spaces behind the building (of which half appear to be super chargers), and close to another 530 parking spaces onsite for inventory and customers’ vehicles.
From what we’ve been told, Tesla might still get an offsite lot for additional inventory, depending upon how busy the dealership will be. Based on the number of Teslas already cruising around our area, the dealership could be one of the busiest in Wesley Chapel.
According to a local Tesla sales representative, the dealership is slated to open by the end of this year. For those unfamiliar, these relatively new dealerships and the whole Tesla sales experience are very different from most other vehicle brands.
I still remember the very first time I rode in a new Tesla. Many years ago, a Tesla sales person came to my office at the time, in a silver ‘Model S’ P100D sedan. What a great-looking car it was, super clean and very modern. It also was the first time I had ever seen an almost all-white interior.
Me and three of my coworkers piled in, with the sales person at the wheel, pulling out of our parking lot and onto the local street. He pulled slightly over to the side of the road, went to the drive settings on the touch screen, and went for a button labeled “ludicrous.”
In my head I was thinking, “Why would anyone label a drive mode that way?” He hit the accelerator and we all found out really quickly

how appropriate that name actually was!
The instant torque from the electric motor was nothing like I’d experienced before, as both my stomach and my brain were being relentlessly pushed into the seat back until he let off at 80 miles per hour, all of us finally able to take a deep breath after what seemed like an eternity, but in reality was less than 4 seconds.
I had raced motorcycles when I was younger at the local drag strip, but this sedan was faster than that! “What a great way to sell cars!,” I thought. The point of these early demos was to give potential customers more than just a glimpse of these EVs. The idea was to allow you to experience the difference between Tesla and vehicles by any other automaker.
Back in those days, and for a few years after, the demos were the only way to appreciate a Tesla first hand, unless you knew someone who drove one. You could either book an appointment and drive to a small sales office (if you could even call it that) in some back lot of a corporate park, or if it was being demoed to enough people, the sales people would bring it to your group’s location, as they did in my case.
But, you couldn’t buy the demo vehicle you tested, as the sales were online only, with a set, no-haggle price. And, in many cases, a deposit was required to secure your place in line to even begin to ‘order’ more popular or upcoming models.
Even with the new dealerships, however, not much of that sales philosophy has changed, and the Tesla brand takes great pride in its unique way of selling its vehicles.

Tesla sales are still technically online, which means you still can’t test drive the exact vehicle you want to buy. The vehicles are still sold at a set price, with no haggling, and a $250 ordering deposit is required to secure the specific vehicle you want to buy, although the deposit may be less depending upon the model.
We were told that the vehicle you choose gets removed from the “available inventory” when the deposit is received, or if the deposit is for an upcoming or brand new model, it secures your place in the ordering queue.
While this may be counterintuitive to the traditional dealership models people are used to,




most customers have raved about the simplicity of the process in their Google reviews.
From what we read in the reviews, and speaking with two different Tesla sales associates, one in the national online/call-in sales office and the other a local (Westshore) sales person we spoke with by text, we got some further clarity.
The in-person sales associates at the dealership are there to help answer questions (they were good at answering all of mine), review vehicle inventory that may be available locally, help customers place their online order to get an inventory vehicle or a custom-ordered vehicle




from the factory, provide and schedule test drives in their demo vehicles, and help customers take delivery of their vehicles when they arrive at the dealership (or if they’re already present in inventory), including providing any remaining paperwork that needs to be signed.
The sales associates clarified that if a vehicle is in local inventory, that vehicle is assigned to one of the physical Tesla sales offices (or dealerships), and you would have to pick up the vehicle from that specific office when purchased, explaining that inventory vehicles cannot be transferred or shipped to other dealerships or offices for pickup — which can occur within three days for inventory vehicles.
If purchasing a custom-ordered vehicle from the factory, you can specify exactly which Tesla location you want your vehicle delivered to in the app.
One thing I’ve always heard is that Tesla can deliver to your door like Amazon, but there’s a caveat to that. The company does deliver to homes through a service called “Carrier Direct” but the Tesla website states, “This fee-based option is available for customers who prefer to have their vehicle delivered, and who live more than 220 miles from the nearest Tesla delivery location.” So basically, this service isn’t available anywhere near Tampa Bay, as the national sales rep confirmed.
That rep also said that Tesla does take trade-ins. It’s all done over the app at the time of purchase and there’s never an in-person inspection required. They’ll give you a “take it or leave it” price quote for the trade (again, no haggling), and the rep stated that their prices are very competitive with other similar services like Carmax or Carvana. They even encouraged getting quotes from one or both of those services in advance to know whose would be the best.
This is not the first full-size Tesla dealership to be built in the Tampa Bay area. The first is in North Tampa, on N. Florida Ave., near the intersection with W. Fowler Ave. The location was the former Bob Wilson, Jeep-Chrysler-Dodge that had sat vacant for years. The site already had a parking garage, so Tesla just built a new dealership building on the site in 2018, opening its doors shortly after.
Currently, there are mixed reviews of the existing Tampa dealership; the positives were mostly those absolutely praising the super simple Tesla purchasing and delivery process, along with staff’s ability to answer questions.
But, the negatives were mostly about how others have found that the service department was severely lacking, in both the availability of needed parts and installing them, communi-


cation with/and scheduling of customers, the exorbitant cost of non-warrantied issues and the overall quality of the services performed.
We’ll see soon enough how this new Wesley Chapel location will stack up.
The Verve Wesley Chapel luxury apartment complex, formerly known as Urbon at Seven Oaks, is quickly taking shape (top photo) adjacent to I-75, just south of the under-construction Tesla Dealership, directly across the street from Blue Heron Senior Living.
Verve is a little further ahead of Tesla, with the buildings now going vertical, and with the bare concrete elevator shafts looming like ancient monoliths next to I-75.
The apartments are being developed by The Collier Companies, which on its website describes itself as, “a multifamily housing management and real estate development company based in Gainesville, FL, [with] 12,000 apartment homes & growing.”
Collier’s Tampa Bay-area portfolio is situated around USF and includes traditional apartment housing called Lakeview Oaks Apartments on N. 37th St, and two student-specific apartment complexes called Reflections Apartments on E. Bearss Ave. and IQ Luxury Apartments (built in 2016), which are on Bruce B. Downs Blvd., immediately south of the Haley Veterans Administration Hospital.
The website for Verve Wesley Chapel doesn’t have much information, but it does currently state, “We don’t just rent apartments. From the moment you walk through the front door, you’ll feel the comfort that makes our residents happy to call us home. Cutting-edge amenities, meticulously-groomed grounds and a dedicated staff contribute to a higher standard of living. Convenient shopping, award-winning schools, local museums and parks are all close at hand, with sponsored activities to develop new hobbies while getting to know your neighbors.”
The complex will be a fairly large one, situated on 16.8 acres and consisting of six 4-story buildings with 360 apartments total — including 144 1-bedroom, 168 2-bedroom, and 48 3-bedroom units. The center of the complex will be situated around a large swimming pool, with an unobstructed pond view towards the sunsets. Other amenities and features, like elevators, a gym, meeting spaces, large common areas, and 30 rentable 1-car garages will be similar to other newer, high-end apartments in the Wesley Chapel area. Verve is expected to open sometime later this year; we did not have information at our press time about what the rents might be.






When Chaplain Danny Sierra — who has been with AdventHealth Wesley Chapel since it opened on Bruce B. Downs (BBD) Blvd. as “Florida Hospital” — introduced the hospital’s new president & chief executive officer (CEO) Ryan Quattlebaum at a meet & greet event on Jan. 29, he was trying to figure out how best to re-introduce more than 100 guests to the hospital’s former chief financial officer (CFO).
“I thought about the Bible story of the prodigal son, but then I thought, ‘Maybe not, because he wished his father not well and there are kids here.’”
Instead, Chaplain Danny went with Philippians Chapter 4, Verse 4: “Rejoice in the Lord always. And again, I say, rejoice.”
To which he added, “And, we rejoice that Ryan is back with us. And let us pray more. Lord, thank you for this special homecoming of your son, his wife and his children. You knew them before they were conceived. You numbered the hairs on each one of their heads, and you brought them back to us. And, as a campus with all our friends, we rejoice of this man.”
Quattlebaum, who served as the CFO at AHWC from 2020-22, left to become the president and CEO of AdventHealth North Pinellas in Tarpon Springs, but returned to AHWC when Erik Wangsness left to take the same position at AdventHealth Tampa. He thanked Chaplain Danny and said he was thrilled to be “back home.”
First, Quattlebaum thanked the elected officials who attended the event, including


Dist. 20 State Senator Danny Burgess and Pasco County commissioners Ron Oakley and Jack Mariano. He also thanked the AHWC Foundation and hospital Board members, as well as the doctors, nurses and staff members in attendance.
“I’m beyond blessed to be able to be here with each one of you,” Quattlebaum said. “And to be welcomed back. My youngest daughter Emily was born here at this hospital, so I am blessed to be back.
My first job in a hospital was in the dish room when I was in high school. So, my roots in Advent Hospitals go way back and this is where my heart is.”
Quattlebaum also said that he, “ultimately want to make sure that everyone’s family member gets treated like how our families are treated and I firmly believe that we do this together. So, there’s a whole team of people here as well that’s made that work happen. So I want to acknowledge and say thank you to all of them for this important work.”
And finally, Quattlebaum said, “What I really care about is people. And Christ’s Healing Ministry was really about people, and this is representative of what our community truly looks like.” He then gave everyone in attendance his cell phone number.
For more information about AdventHealth Wesley Chapel (2600 BBD Blvd.), call (813) 929-5000, visit AdventHealth.com or see the ad on pg. 17 of this issue. — GN









•
•
•
•






You never have to guess what’s happening when AdventHealth has something to celebrate.
Case in point: On Feb. 5, about 125 construction workers (some of whom are shown in the bottom photo on this page) and the entire team at AdventHealth Wesley Chapel (AHWC) gathered on the fifth floor of the hospital to celebrate the “topping out” ceremony of the hospital’s expansion project.
According to an AdventHealth news release, the expansion will feature a new three-story North Wing and a two-story South Courtyard “infill” that will add 80,373 sq. ft. of new space to the hospital and will include the renovation of 8,837 sq. ft. of existing space. The expansion will increase AHWC’s licensed beds from 169 to 193, with room for two more 24-bed units in the future. In total, the expansion project will allow for 72 new inpatient beds, two new operating rooms and two new endoscopy suites.
Representatives of the project’s general contractors, Batson-Cook, the AdventHealth Office of Design and the project’s construction architects Hunton Brady also were on-hand at the event, as were new AHWC president/CEO Ryan Quattlebaum (see story on pg. 12) and AdventHealth West Florida Division president/ CEO David Ottati, as well as many AHWC Foundation and hospital Board members.
Following an opening blessing, Bill Larder, the senior superintendent for Batson-Cook, explained that “topping out” is a Scandinavian tradition that includes a tree that he described as, “a blessing for the structure that is being built and we have turned it into a celebration for all of the hard work” that has gone into the design and

among the first to sign the wall at the
out”
construction, the latter of which was made more difficult by last year’s storms.
“This was a really rough storm season,” Larder said. “Right as we were erecting this tower, we got hit with a tropical storm and when we were doing demolition, [Hurricane Helene] came through and we had guys here working tirelessly for 48 straight hours” to fix the damage that Mother Nature had wrought on the project.
“So today, like in the Scandinavian tradition,” Larder added, “we pray for blessings on the building and the patients and staff that are at and will be at the building. And, we celebrate each and every one of you for the hard work you’ve put into this.”
Quattlebaum thanked Larder and then
quipped, “I’ve only been here a month, but look what we’ve been able to accomplish in that time! I say that jokingly because I know how hard all of you have worked to make this day a reality. And, I’m so excited to be the CEO here at this amazing campus, where we have a history and a legacy of excellence.”

He then thanked all of the contractors and subcontractors, as well as the hospital’s design team. “Once we officially open in 2026,”
Quattlebaum added, “we will be able to provide expanded services here in Pasco County.” He also said that the hospital expansion reminded him of the parable of “The Torchbearer, which reminds me of what it means to be a vision-




ary, but also what it means to be a leader. It’s about a person carrying a torch to illuminate a path for others. It symbolizes determination, knowledge and responsibility. The torchbearer’s torch lights the way along a dark path. As they progress, others join, relying on the torch’s glow...and all benefit from the light. Eventually, the torchbearer grows weary and must pass the torch to another... because, in the end, the torch still bears light.”
Quattlebaum then said, “In this project, each one of you are torchbearers. Carry the light forward. Because, if you think about what will happen, for decades to come, in this exact space, we will be extending Christ’s Healing Ministry in these halls...because of your hard work.”
And, although it was sometimes referred to as a beam-signing ceremony, Quattlebaum noted that “beam-signing is a misnomer. The beam is out there (between the flag and the tree in the photos above), so we can’t go out there to sign it, but what

we will be doing is placing that final beam on the top floor and having each of you sign your signature on the building itself that will memorialize this building for the years to come.”
Then, everyone in attendance (including Neighborhood News multimedia specialist Charmaine George and yours truly) took turns signing the wall (top photo on previous page) and enjoying delicious food from Mission BBQ. The construction crew members also each received gifts.
For more information about AdventHealth Wesley Chapel (2600 BBD Blvd.), call (813) 929-5000, visit AdventHealth.com or see the ad on pg. 17 of this issue. — GN





Whole Foods Moving Forward?
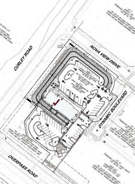
In mid-February, updated plans were submitted to Pasco County for a high-end retail center on the long-vacant land north of Aronwood Blvd. and east of Bruce B. Downs (BBD) Blvd. in Wesley Chapel that previously was announced as having both a Whole Foods grocery store and a Life Time Fitness center. Those original plans, filed in March of 2024, were withdrawn two days later.
The new plans, submitted by privately held commercial developer SJC Ventures, do not mention any of the proposed tenants, but they look similar enough to the former site plan that did include Whole Foods and Life Time for some local news media to assume that those major tenants are likely still part of the new five-building (totalling 160,468 sq. ft.) plans (see site plan, right).
The new plan calls for “Major Tenant A,” believed to be Whole Foods, occupying a 35,518-sq.-ft. building, with “Major Tenant B,” believed to be Life Time Fitness, in the site’s easternmost 84,500-sq.-ft. building. Other buildings included in the new site plan are a 10,416-sq. ft. “Shops” building adjacent to Major Tenant A, and two additional “Shops” buildings of 16,017 and 14,017 sq. ft. at the southwest corner of the site.
If ultimately approved by Pasco, which is expected, the new plaza likely won’t be ready to open until 2027.
Tampa Palms Joann Fabrics Closing?
Also in mid-February, a judge approved the second declared Chapter 11 bankruptcy by Joann Fabrics & Crafts that will allow the retailer to close 500 of its 800 U.S. stores.
Among the locations already holding a

“Going Out of Business” sale is the Joann’s located at 6234 Commerce Palms Blvd., in the Market Square at Tampa Palms plaza (photo below).
“Right-sizing our store footprint is a critical part of our efforts to ensure the best path forward for Joann,” the company said in a prepared news release on Feb. 14. “We anticipate the store closures to occur over the next few months, although some stores may close within a shorter or longer time period.” We had not heard at our press time when the Tampa Palms Joann’s will actually close.


For more information, call (813) 9108996 or visit Joann.com.
Nothing Bundt Cakes Is Open!
If your sweet tooth has been acting up, New Tampa residents can now get their fix of Nothing Bundt Cakes, which opened in mid-February in the City Plaza at Tampa Palms shopping center at 16047 Tampa Palms Blvd. W (bottom photo). The new store — the second in our distribution areas (the other is in the Shops at Wiregrass mall) — fea-
tures the same delicious bundt cakes in a variety of sizes and flavors (with that delectable icing) as the chain’s 600+ other stores in the U.S. and Canada.
Founded in Las Vegas in 1997 by Dena Tripp and Debbie Shwetz, Nothing Bundt Cakes has been named the #1 Favorite Brand in America, according to Nation’s Restaurant News.
I got to sample the new Reese’s Chocolate Peanut Butter flavor on my first visit to the new bakery. I’ll definitely be visiting again soon!
For more info, call (813) 344-5959 or visit NothingBundtCakes.com.
Will Our Winn-Dixie Become Aldi?
We reported a couple of issues ago that the Winn-Dixie supermarket located at 6425 County Line Rd. had closed and was being converted to an Aldi market, since Aldi had purchased all of the remaining links in the Winn-Dixie chain.
However, Aldi sold 170 of its Winn-Dixie stores to a private consortium of investors in Feb. Sadly, at our press time, we weren’t able to find out if the New Tampa Winn-Dixie will still be converted to an Aldi or reopen as a Winn-Dixie. — GN


Ever Wish You Could Afford to Have an IT Department for Your Business?
What if we told you that you can?!?
Imagine having a dedicated IT team, located just around the corner, at a fraction of the cost of hiring even one IT professional! Is Your Business Ready for 2025?
Contact your neighbors at My Tampa IT & let’s discuss your Tech Support, Cybersecurity & Compliance needs!

Contact us today for a complimentary consultation. (813) 513-9849
www.mytampait.com





Wednesday, March 5, 8 p.m.-10 p.m.
– New Tampa Jazz Nights: Whitney James & Scotty Wright with La Lucha. At New Tampa Performing Arts Center (8550 Hunters Village Rd.). Be there as the scintillating Whitney James teams with the lyrical Scotty Wright in their first official duet performance. The duo will be accompanied by the remarkable, “Best of the Bay” jazz trio, La Lucha, for a fabulous and swinging jazz evening. Tickets $10-$30. For more info, see the ad below. To purchase tickets, visit TampaJazzClub.com.
Thursday, March 6, 7 p.m.-9 p.m. – Sarah Brightman Tribute Show. At New Tampa Performing Arts Center (8550 Hunters Village Rd., Tampa). A dedication to soprano and actress Sarah Brightman will be presented by singer and producer Elona Krasavtseva (photo, right)and acclaimed baritone Alex Boyd. Tickets $30 general admission. For more info, call (813) 829-2760, or to purchase tickets, visit NewTampaArtsCenter.org/events.
Friday-Saturday, March 7-8, 7 p.m. –The Pasco Hernando State College (PHSC) Theatre Performance Program Presents: “The 25th Annual Putnam County Spelling Bee.” At the PHSC Instructional Performing Arts Center (8657 Old Pasco Rd.). The show centers on a fictional spelling bee set in a geographically ambiguous Putnam Valley Middle School. Six quirky adolescents

compete in the Bee, run by three equally quirky grown-ups. Great music and hilarious characters earned the “Putnam Bee “six Tony Award nominations (winning two) in 2005. Free to attend. For more info or to reserve your tickets, call (813) 536-2836 or visit PHSC.edu/about/events.
Friday, March 7, 7:30 p.m.-9:30 p.m.
– Steinway Signature Series: The Roam Duo. At New Tampa Performing Arts Center (8550 Hunters Village Rd., Tampa). The Roam Duo is a piano ensemble that focuses on artistic creativity and collaboration across disciplines. Pianists Ghadeer Abaido and Svetozar Ivanov engage their audiences by incorporating poetry, musical symbolism and audio soundscapes into their performances. Tickets: $20. For more info, call (813) 829-

2760. To purchase tickets, visit NewTampaArtsCenter.org/events.
Sunday, March 9, 3 p.m.-5 p.m. –“New Tampa Unplugged” — Mardi Gras Celebration with Cypress Creek Jazz Band. “New Tampa Unplugged” is a spin on the hit ‘90s show, “MTV Unplugged,” which featured popular artists of the time performing acoustic sets. Tickets cost $15-$20 depending on seat selection. For more info, call (813) 829-2760. To purchase tickets, visit NewTampaArtsCenter.org/events.
Tuesday, March 11, 4 p.m.-7 p.m. – North Tampa Bay Chamber Ribbon Cutting. At Peak Brain & Body (2404 Creel Ln., Ste. 101). There will be food and raffles. Ribbon Cutting is at 4:30 p.m. Free to attend. For more information, call (813) 994-8534 or visit NorthTampaBayChamber.com/events.
Sunday, March 16, 9:30 a.m.– Celtic Worship Service. At Christ Our Redeemer Lutheran Church (304 Druid Hills Rd., Temple Terrace). Enjoy a traditional Celtic-style worship service with instruments & choral. For more info, see the ad at the top of the next page.
Wednesday, March 19, 9 a.m.-10:30 a.m. – North Tampa Bay Chamber Coffee Social. At USF Federal Credit Union (20610 Bruce B. Downs Blvd.). Wake up and join
the Chamber for your morning brew and network with your fellow members. Free to attend. For more information, call (813) 994-8534 or visit NorthTampaBayChamber.com/events.
Friday-Saturday, March 21-22, 7:30 p.m.-9:30 p.m. – Tampa City Ballet Presents: “Don Quixote.” At New Tampa Performing Arts Center (8550 Hunters Village Rd., Tampa). Step into a world of adventure and dazzling dance that brings to life the spirited love story of Kitri and Basilio. With breathtaking choreography, stunning costumes, and lively Spanish flair, Don Quixote is a celebration of vibrant energy and romance that will leave you captivated from start to finish. Tickets $30-$60 reserved seating. For more info, call (813) 829-2760. To purchase tickets visit TampaCityBallet.org or see the ad below.
Monday, March 24, 7 p.m. – New Tampa Democratic Club Monthly Meeting. At New Tampa Regional Library (10001 Cross Creek Blvd.). Join the New Tampa Democratic Club for their monthly meeting. For more info, visit NewTampaDemocrats. com or Facebook.com/NewTampaDemocrats. Or, see the ad on the next page.
Friday – Sunday, March 28-30 and Friday – Sunday, April 4-6 – New Tampa Players Presents: “Into the Woods.” At



New Tampa Performing Arts Center (8550 Hunters Village Rd., Tampa). James Lapine and Stephen Sondheim take everyone’s favorite storybook characters and bring them together for a timeless, yet relevant, piece... and a rare modern classic. The Tony Awardwinning book and score are both enchanting and touching. For more info and to purchase tickets, visit NewTampaPlayers.org

or see the ad at the bottom of this page. Friday, March 28, 4 p.m.-6 p.m. –North Tampa Bay Chamber Final Friday. At Shuckin’ Shack (25026 Wesley Chapel Blvd.). Come out, engage and network with fellow chamber members in a relaxed environment. Free to attend.
For more information, call (813) 9948534 or visit NorthTampaBayChamber.
New Tampa Democratic Club



com/events.

Sunday,





By Celeste McLaughlin Neighborhood News Correspondent
If you’ve been seeing real estate headlines that make you think the sky is falling, long-time local Realtor ® Kristy Darragh of Florida Executive Realty in Tampa Palms says to brush it off — it’s just click bait.
“I monitor trends weekly, monthly and quarterly, as well as the long history and economics of housing,” she says, “and the local housing market lately has been a bit wobbly, but is still basically a flat line.”
She says that plateau is a good thing (not a sign of death), meaning the local market continues to be steady and predictable for those who are looking to buy or sell.
With almost four decades in the industry and a near obsession with crunching the numbers, Kristy has a deep understanding of the local market and promises her clients expert advice for how to sell their homes for the highest price or buy a home at the best value.
A staple in the New Tampa and Wesley Chapel real estate market since 1994, Kristy has recently updated her brand to include her daughter Megan, so you’ll now see ads for Kristy & Megan – rather than just Kristy –not only in the Neighborhood News, but also on billboards and in direct mail.
Megan began working with her mom in 2020, after previously serving as the office manager for the Westchase branch of Florida
Executive Realty. Now, they’ve solidified their partnership with the team’s name change.
Kristy and Megan say they are able to serve clients with client service umatched in the local market, thanks to assistants Jace Haitz and Toni Osborn, both of whom have worked with Kristy for many years.
“There’s no way I could provide the excellence and volume of work I do without them,” says Kristy of her support staff. “They are what makes it possible for Megan and I to offer this level of service.”
Kristy uses all of those years of experi ence to translate what’s happening in the market into useful information for her clients.
For example, she says she tells her clients to always look at the current inventory to understand the basic fundamental principle of supply and demand. Historically, she says, the 33647 zip code has had around 300 active listings in a normal market. “Right now, we’re at about 170 active listings,” Kristy says. “We came from a peak during the pandemic where we only had 18 listings in the entire zip code.”
At the time, prices were sky high due to demand. She says the market has recovered to be more balanced, but that there’s still plenty of room for more inventory.
“Prices on a lot of homes have come down, but they needed to, because people were pricing their homes the way they were in 2020 and 2021,” she says, “and that was when the market was unbalanced and somewhat frenetic.”



Meanwhile, In Wesley Chapel... Wesley Chapel has its own trends and metrics, and Kristy explains that all of the new construction in the area means resale prices
are somewhat suppressed. That means Wesley Chapel sellers need to have realistic expectations as to what they can sell their homes for, and that they should always work with an




not falling and prices are not dropping. We are in a healthy plateau, and that is what you want so the market can normalize.”


expert who can help price the home appropriately to sell quickly or meet the seller’s goals.
“This is a normal cycle,” Kristy says. “You can’t use prices for new construction for your asking price on a resale home because builders offer incentives, such as money back toward closing costs, bonuses and interest rate buydowns.”
She says these incentives can be valued at up to $100,000, so resale homes have to take that into account to be able to price to sell.
“I’ve got 38 years of knowledge, including 30 years here in the New Tampa and Wesley Chapel area,” Kristy explains. “I see trends so clearly and have lived through so many real estate cycles that I can tell you the market is


Nancy says Kristy and Megan made the process stress-free and actually enjoyable.
She says there also are annual trends that always happen, and that we’re just about ready for an influx of seasonal buyers in April, May, June and July.
“This is when the most buyers are in the market, so prices definitely go up,” Kristy says. On the other hand, over the year-end holidays and the first quarter of each year is when resale prices are the lowest, giving buyers the best opportunity to purchase a home at a lesser cost.
“This happens every year,” Kristy says.
Kristy and Megan are each licensed as both a real estate agent and as a Broker. Kristy joined Florida Executive Realty in 1994 and became partners with Doug Loyd in the Tampa Palms location of Florida Executive Realty way back in 2003. Loyd owns five other offices of Florida Executive Realty located in and around the Tampa Bay area.
Kristy and Megan have many satisfied clients, including Nancy and Mike Yetter, who recently sold their home in Ashington Estates in Tampa Palms to move to The Sanctuary (also in Tampa Palms), where Kristy and Megan helped them find the perfect smallersized home to fit their empty nest. But, the Yetters’ new home still provides enough room that they don’t feel cramped.
“It was a lot of fun,” Nancy says. “We felt very lucky to work with both of them.”
While most people wouldn’t call the stressful sale or purchase of a home “fun,”
Nancy also says that she and her husband first met Kristy when she was the seller’s real estate agent when they bought their Ashington Estates home in 2018, after experiencing what Nancy described as a “horrific” experience selling the home they were moving from on Anna Maria Island.
“We were so impressed with her back then,” Nancy says. “We said if we ever moved, we wanted to ask her to be our agent.”
Because the couple travels often, they trusted Kristy and Megan to handle the entire process, including showings and repairs that needed to be made to the home.
“To have absolutely no hiccups was great,” says Nancy. “We were able to close on both homes the same day. It was perfect the way [Kristy] organized that.”
Nancy says that both Kristy and Megan understood their needs and didn’t waste their time showing them homes that weren’t what they wanted.
“I’ve recommended Kristy and her team to three people already,” Nancy says. “She’s very professional, she’ll work for the best deal possible, and she doesn’t let anything fall through the cracks. She knows the market and that’s so important.”
The Tampa Palms office of Florida Executive Realty is located at 15802 Amberly Dr. For more information about Kristy and Megan Darragh, visit RealEstateNewTampa.com, call (813) 931-6700, or see the ad on page 48 (the back cover) of this issue.


By Celeste McLaughlin Neighborhood News Correspondent
If you’re in the market for new window treatments — anything from plantation shutters and blinds to shades or drapes — lo cal franchise owner Michael Imses says you should consider Bloomin’ Blinds, which offers a lifetime guarantee on its products, and also provides repairs.
“Our warranty is great,” Michael says. “With us, customers don’t have to worry about if anything breaks because we always repair or replace our products for free.”
Michael and his wife Mariana own the Bloomin’ Blinds franchise that serves homeowners in New Tampa, Wesley Chapel and surrounding areas such as Lutz, Land O’Lakes, Tampa and South Tampa.

Bloomin’ Blinds is a 25-year-old company that started in Dallas, TX, and began franchising within the last decade. There are now about 75 locations across the nation, including nine in the Sunshine State.
About six years ago, Michael and Mariana, who are both accountants, decided that they wanted to own their own business. They searched for a franchise that would be a good fit for them and found Bloomin’ Blinds. Michael says they purchased the franchise at about the same time their only daughter was born.
Michael and Mariana like that the company offers high-quality products, backed by a guarantee, so customers can have peace of mind about the investment they make in their homes.
For window coverings such as roller shades, cellular shades, plantation shutters or blinds, Bloomin’ Blinds provides custom treatments direct from the factory, so the quality is much better than what you would buy off the shelf at a big box or home improvement store.
Michael says Bloomin’ Blinds sells Norman shutters, Graber window treatments, and Alta window fashions, among other brands and yes, motorized, smartphone-operated shades also are available.
“The automated systems are becoming more popular, because you can operate them from anywhere in the world,” Michael says. “And the prices for them have started to come down.”
Kerry Estevez says she found Bloomin’ Blinds on an online community group when she built a

new house in the Esplanade at Wiregrass Ranch.
After the builder completed her home, she brought in a line of contractors to finish everything from customizing closets to crown molding and, of course, window coverings.
“Bloomin’ Blinds was the only one where nothing went wrong,” Kerry says.
She also says the best thing about hiring Bloomin’ Blinds was the professionalism and quality of customer service that came with working directly with the local franchise owner.
“Dealing with the owner of the company directly and having him in the house, the communication was flawless,” Kerry says, adding that she appreciated that when Michael came to her home for a free consultation, he took his time and she never felt rushed. She considers herself to be particular, but says Michael was even more so.
“He noticed things I didn’t even notice,” Kerry says. “I would recommend him to anyone for his attention to detail.”
In fact, she says, he was accommodating in working on timelines of other contractors and that, when it came to installation, he personally completed the job, along with one of his employees.
While some other companies she called would have taken months to even come out for a consultation, Bloomin’ Blinds was able to complete the consultation, order custom plantation shutters for every window in her home and have them manufactured and installed before she moved in.
Kerry says the prices she paid at Bloomin’ Blinds were great, too. “I highly recommend Michael,” Kerry says. “I tell my neighbors if they’re getting estimates to definitely call him. I think once they get an estimate from Michael, I don’t know how people can’t hire him.”
In fact, she adds, she’s hiring Bloomin’ Blinds again, to come back and add drapes in her home, too.
Michael says Kerry’s not the only customer who has told him that they appreciate how accessible he is.
“We’re not a big corporation where people have to call and call and wait on the line for a long time to be transferred to someone who can help you,” Michael says. “We’re a small, family-owned local business and people love that we’re easy to communicate with.”
He says they also love the parent company’s warranty and that they don’t have to worry if anything breaks. While Bloomin’ Blinds will replace anything that needs to be replaced, Michael and his crew can often make repairs on the spot, or come back soon if a part needs to be ordered.
In fact, if you have another company’s window treatments you already love in your home, and something breaks, such as a slat or a tilter, Bloomin’ Blinds will come out to provide a free estimate for the repair.
The first step is to schedule an appointment for a free estimate in your home. This
allows Michael to show you the available products in your own environment, so that colors and styles can be best matched to your existing décor, and you can see exactly what it all will look like in your space.
Michael says he can help you, even if you have absolutely no idea what you want. New products are often available, and he’s happy to spend time going over all the options you may not even know about. “We bring all the samples and colors to our customers, help them pick out what would work best, and share all that we’ve learned from our experience.”
Another advantage of Bloomin’ Blinds always coming to you is that the business doesn’t have a lot of overhead expenses so, Michael says, “We can give our customers a better price.”
While in your home, he will measure every window to ensure that any product you buy is custom fit to each of those exact specifications.
“We don’t have anything stored [in a warehouse or their home] or any standard sizes,” he explains. “That way, if your windows are slightly different sizes — even off by a portion of an inch — you won’t have gaps on the sides, especially with a shade or blinds.”
He says plantation shutters currently are the most popular choice, although many clients also have been choosing roller shades.
“Roller shades are a more modern product,” he says, “and they are much improved now, including using a smooth, easy-to-use cordless system.”
Because these cordless systems are becoming more popular — now that regulatory bodies in the window treatment industry require that anything sold in the U.S. has to either be cordless or have inaccessible cords, because of the safety hazards they pose to children, the systems are continually being improved and also are becoming more affordable.
Michael says he usually can install your new window coverings just three to four weeks after you order them, although shutters may take just a little longer.
Bloomin’ Blinds comes to you & offers a free in-home estimate. You can schedule an appointment by calling (813) 444-5536, or get more information by visiting BloominBlinds.com. Also, see the ad on pg. 33.












“I’m a producer by trade and also by personality,” Dr. Nyla Hazratjee told me following the first of three days of shooting for “American Fabric,” the film she wrote and which represents her directorial debut. “I think lots of women are producers in their lives as well, so I think that led me to that part of the film industry.”
As for why she decided to direct this time around, she said, “I wrote the film and I knew what I wanted it to look like, so who else?”
As for the film’s subject matter — the decision by young Muslim women as to whether or not they want to wear the hijab, Nyla said, “I do wear the head scarf, but I didn’t always. And, I think every day I have to make the choice as to whether or not I want to keep wearing it. I know so many women who either didn’t wear it or started wearing it and so many more who did wear it and decided to not wear it anymore.”
But, she adds, that choice isn’t really what he film is about, “It’s really about my body, my choice, and I believe that most women can relate to this kind of a story. It’s a personal story, but I believe it should have a wide relatability.”
She added, “My body, my choice is about feminism but it isn’t just about taking it off, it’s also about putting it on — and that it’s really up to you what you do with your body. But, in women’s world, so many other people feel that they have agency over a woman’s agency.”
The two main characters in “American Fabric” are Lina (played by Hana Soomro), a young model who decides during a photo shoot that she wants to start wearing a hijab, and Nila (played by Carina Conti), who is a hijabi who decides she wants to stop wearing hers.
“There’s a quiet acceptance that comes into these girls’ lives, as they come to their [separate] decisions,” Nyla says, “despite all of the opposition that they’re receiving from their friends, their families, men...to say, ‘This is what I want to do and I’m going to do it regardless.’”
Nyla, who is actually from neighboring Pakistan herself, said that part of her motivation to make “American Fabric” was because, “What we call ‘Brown Hollywood,’ or Muslim Hollywood, is made up of a diaspora (a group of people who share a cultural, religious or regional origin but who live outside of their traditional homelands) — so Muslim, Middle Eastern, North African and all of those other voices combined. So, when we meet each other, we meet as if we’re old friends. Some of the actors in this film are of Persian (from Iran) descent, some are Pakistani, some are Indian and some are not of that region at all.”
She also is proud of the mix of ethnicities in her mostly female cast and crew. “Our cinematgrapher is Chinese American, our first assistant director (AD) is Caucasian...I think we have all of our bases covered as far as races are concerned. And, we’re also mostly a local Florida cast and crew.”
Nyla also gives a shout-out to the Tampa Bay Film Commission. “They’ve been wonderful, super-helpful and they try very hard to accommodate the things that a filmmaker needs to make a film happen here. So, we’re super lucky.”
As for the film itself, Nyla said the names of the two female leads were chosen intentionally.
“One is Nila and the other is Lina, so they’re like two sides of the same coin, even though they’re not at all the same personality-wise,” Nyla said. “But,

l.-r.) Producer Nadia Cox, costume director
The photos below are scenes
all of their experiences throughout the day, as we end up as this party, are similar, even though they come to very opposite decisions. But, isn’t that the female condition? That’s really what we want to show.”
She added that she definitely relates to both characters, “And I think that most women will relate to pieces of each one of those characters. And that’s what I’m really hoping for.”
Nyla also said that now that production of the film has wrapped, she has a wonderful, experienced, super-talented film editor, originally from Egypt, and she expects that it will take “about a month, if we’re really good about it,” to edit the film. “We really want to catch the film festival season, which starts about April/May, so that we can take it to all women-centric festivals, all Muslim-centric festivals, all Florida festivals, hopefully some international festivals and some of the major festivals that we will do our best to get into. We’re excited about pushing the story and getting as many people as possible to experience this film.”
Nyla also has a nonprofit film production company called NY/LA Productions, which is, “a female-driven, female-centric production company which produces and promotes films with female and Muslimeen (female Muslim) voices. We look for funding from federal and local grants, as well as local donors. We recently received an $8,000 grant from the nonprofit charity called ‘200 Muslim Women Who Care,’ which is based here in Tampa Bay.”
She also noted that NY/LA Productions also promotes, produces and develops “projects in the making, finished projects that need to be promoted,





and invite audiences to view them.”
Nyla also mentioned working with a University of Florida professor named Iman Zawahry, who directed “Americanish,” a 2021 feature film that NY/LA Productions helped bring to the Tampa Theatre for a screening with about 400 people who attended, “and ‘Americanish’ has been acquired for release by several screening services, which is really great for them,” she says. “Iman’s been a great mentor for me and other young and aspiring filmmakers.”
She added, “We do often get scripts sent to us and we see if they fit what we’re trying to do. And, if they’re in line with our ideas and goals, we are happy to help.”
As for how “American Fabric” will be distributed, Nyla said, “Short films are tough for distribution, but there are now some streaming services that will acquire short films, including WeShort and Hollywood Just4Shorts, to get short films to a greater audience. HBO does acquire some shorts and we will try our best to find a place to distribute it. Otherwise, I’m sure we can find somebody to acquire us for a streamer. And, there’s always YouTube and Vimeo. The film also will be available to anyone who goes to our website, NYLA-Production.org.”
As for how this married, busy mom-of-two gastroenterologist finds

the time for the film business, she says, “I don’t know, midnight-4 a,m.? When you have a
passion for something, you find the time. Where there’s a will, there’s a way, right?”




By Celeste McLaughlin Neighborhood News Correspondent
David Calcador and Deborah Curler own Your CBD Store of New Tampa, a franchised location of the national chain, located less than a mile south of the Pasco County line in the Pebble Creek Collection on Bruce B. Downs (BBD) Blvd.
The first Your CBD Store was opened in Bradenton in 2018, and the husband-and-wife team of David and Deborah opened their store just a year later, in 2019.
Now, Your CBD Store is the largest brickand-mortar CBD chain in the U.S., with more than 600 stores, selling its proprietary Sunmed products, which is a premium, hemp-based line of wellness products tested locally for quality.

Deborah and David are quick to emphasize that they’re not a smoke shop or a cannabis dispensary, but a wellness resource offering solutions to many health problems.
CBD, or cannabidiol, is one of more than 100 cannabinoids that grow on cannabis, of which both hemp and marijuana are varieties. CBD originates from hemp, but contains less than 0.3% of THC (tetrahydrocannabinol), which is the ingredient that causes a “high,” while marijuana has much higher levels of THC.
Most of the products at Your CBD Store of New Tampa are offered as “full spectrum,” which are generally stronger but still contain no more than the legal limit of 0.3% THC, and “broad spectrum,” which have no THC at all.
I Have Expanded to the New Tampa Area! I Offer “Large Firm Service” with “Private Accounting Firm Rates!”

“CBD can help you with what’s going on in your body,” explains Deborah. “From chronic pain to anxiety, there are so many things it can do for someone.”
CBD comes in both flavored and flavorless tinctures, oils, pills, gummies, weight-loss products, as well as a skincare line, bath bombs, lotions, massage oils, pain creams and even products for dogs and cats.
Deborah and David say that they love



educating their customers and clearing up misinformation about CBD. Their CBD products won’t get you high, aren’t illegal, won’t make you impaired and you don’t need a medical cannabis card to purchase them.
Deborah explains that all Sunmed products have a QR code on them that anyone can scan to see detailed information, from where the hemp was grown that was used to make the product (Deborah says the hemp used in
her store’s products are all from Oregon and Colorado) to a lab report that explains exactly what’s in the product, as tested by a third party to ensure quality and safety standards.
Deborah shares that the store is always offering new products, in addition to the staples they’ve had for years.
For example, full-spectrum water soluble CBD has been available in 900 mg and 1,800 mg versions, but is now also available in 2,700 mg and 5,400 mg. Deborah says these products are great for stress, anxiety and panic attacks, as well as general health and wellness.
“Neuro is a special blend for neurological issues and is CBG-enriched for fighting inflammation,” Deborah says. (Note-CBG is another non-psychoactive cannabinoid that also is known as “the mother of cannabinoids.”)
For longer lasting effects for pain relief, Deborah says tinctures provide up to 10 hours of pain relief and are available in 1,000 mg, 2,000 mg and 3,000 mg.
Your CBD store also offers topical creams, sprays, gels and roll-ons for isolated pain.
The store recently added Nowadays, which is an adult beverage that gives a buzz without a hangover, and Xite Delta 9 milk chocolate and dark chocolate candies and popcorn.
Your CBD Store also carries a variety of edibles such as anytime gummies, all-in-one mushroom gummies, and super greens daily gummies, which help to support daily well-being.



Products For Pets, Too
A variety of pet products to help dogs and cats also are available at Your CBD Store.
For example, Chillen is a pet treat that can help with issues such as separation anxiety or to help pets relax during fireworks, travel, or any stressful situation.
Other products include a probiotic blend that helps with potty issues, a treat that provides allergy relief, including skin support for pets that experience skin “hot spots,” and Movin’ Easy, which helps pets with joint pain.
“All pet treats are formulated by veterinar ians,” Deborah explains.
Deborah and David are proud of their store’s Google reviews, which average 4.9 stars out of 5, based on nearly 200 reviews.
“If you look at our reviews,” Deborah says, “you’ll see people love the products and that they’re changing lives.”

all-natural product that may help.

PROVIDED IN OUR OFFICE:
•Wellness Dentistry for kids and teens
Recently, Florencia Stewart visited the New Tampa store and shared her experience in a 5-star Google review.
“I want to thank the owner! She is amazing,” Florencia writes. “I took my mom to get CBD and [Deborah] was extremely helpful, very patient, and explained everything to us. My mom is pain free!”
She goes on to write, “We love this store! All I can say is thank you, thank you!!! My mom has been able to sleep!”
Other recent reviews cite “exceptional customer service” and say that Deborah and David are both “extremely knowledgeable.”
Whenever you make a purchase, you’ll receive a card you can bring back on the third Saturday of the month to receive a prize. Every card is a winner, whether it’s an additional discount, a free item, or up to a year’s worth of CBD!
If you’re age 55 or older, Your CBD Store offers a 15% discount on all of your purchases. And, free local delivery or free shipping is available for orders over $100.
Your CBD Store of New Tampa is located at 19651 BBD Blvd., Suite B-1. It is open Monday-Saturday, 10 a.m.-6 p.m., and 1 p.m.– 5 p.m. on Sunday. For more information, call (813) 994-0599, visit GetSunMed. com, or see the ad on page 33.

&



Accepting:

Treat: APEX Internal Medicine of Tampa 10353 Cross Creek Blvd., Suite D | New Tampa, FL 33647 www.ApexImt.com

To make an appointment, call 813.725.4983 OPEN HOURS: Mon-Fri, 8 am -5 pm; EVENING Appointments available on selected days •Annual Physical Exams •Wellness Care for Medicare Patients

•Holistic nutritional counseling for teeth and gums
•Ozone therapy for oral care
•Recommendation of non-toxic materials
•Sedation dentistry (nitrous oxide) and Sedation
•Invisalign First for children & Invisalign Teen


•Digital 3D scans, ITERO (no goop) and digital X-rays
•Laser dentistry (release of tongue tie for infants, children and teens)
•Relaxed environment, so your children can enjoy their visit
or questions, email us at info@tampahappysmiles.com Or, visit www.tampahappysmiles.com




By Celeste McLaughlin Neighborhood News Correspondent
Lilliana Harrington is a huge fan of having her nails done by owner (and experienced nail technician) Lee Alley at Kay Nail Spa, located in the Shoppes of Wesley Chapel, across Bruce B. Downs (BBD) Blvd. from AdventHealth Wesley Chapel, in the same plaza as Dickey’s BBQ.
She’s such a fan, in fact, that even though Lilliana sold her home in Wesley Chapel and moved to outside of Orlando, she now travels more than two hours every three weeks to have her nails done by Lee.
“When you find someone who is so extraor dinary,” Lilliana says, “you can’t leave them.”
Lilliana says she, her 19- and 11-year-old daughters and even her husband all go to Kay Nail Spa for pedicures and manicures, despite the drive. They discovered Lee at her first salon in Wesley Chapel — Colorful Nails in the Freedom Plaza on S.R. 54, which Lee and her husband Chris still own.

follow Lee anywhere, but she particularly likes Kay Nail Spa.
The Alleys bought Kay Nail Spa just a few months ago, in November 2024. They also previously owned Lavender Nails at the Tampa Premium Outlets, but Lee made the decision to sell that salon when the opportunity presented itself.
“[Lavender Nails] was very successful,” says Lee, “but someone offered us a good deal and I thought three salons was too much, so we let it go.”
Lee says she loves the location at Kay Nail Spa, since it’s close to her home and even closer to her two-year-old’s day care. Lilliana says she’ll
“It’s a very clean place,” Lilliana says, noting that there are never any stray items on the floor and that it doesn’t have a strong chemical smell, as some nail salons do. “It’s very beautiful, very calming and very uplifting. All of her places are wonderful, but I fell in love with the chair at Kay.”
And, while Lilliana has a strong loyalty and prefers that only Lee do her nails, she says that whenever she’s had her nails done by other technicians at Lee’s salons, she’s still always has been happy with both the quality of the work and the customer service she’s received.
Lee says she worked at a salon when she first came to Wesley Chapel with her husband in

2019. She says she was often booked all day from people requesting appointments with her. She loved the work, and knew she wanted to go into business for herself.
Now, she’s busy managing the day-to-day operations at both salons and Chris, who also works as an information technology (IT) professional, supports the salon with IT, paperwork, payroll, marketing and other administrative functions. Lee still makes time for her loyal clients as much as she can, but fully trusts her employees to care for those clients, too.
She says the most important thing to everyone at Kay Nail Spa is providing not only good quality manicures and pedicures, but also excellent customer service.
Growing up in Vietnam, Lee says her family owned a small nail salon, so she was always around it. She left her home country to work on a cruise ship, where she got a job as a casino dealer.
Lee explains that, as an employee of a huge company that trains thousands of people in customer service, she learned a lot of lessons that she now applies to her nail salon businesses.
For example, she says it’s important to always put relationships first.
“We treat our customers like friends and family,” she says. “We have to make them feel welcome. If any issues happen, we try to understand them so that we can build a strong relationship.”
Lee also says that, because of that mantra, clients often become friends, too.
“I tell my employees that they can improve their skills over time, and if they mess up, their customers will give them a chance to fix it,” Lee says. “But, if they’re mean or rude, people won’t come back.”
Lee says another thing she likes about her shop is that there are nail technicians of many nationalities. “We have Spanish, Asian and African technicians,” Lee says. “I don’t care where they come from if they do nails well and have a good attitude.”
Lee says Kay Nail Spa offers all nail services such as acrylic, gel and dip powder. “If it’s available in the market,” she says, “we do it.”
While Kay Nails was not previously known for offering nail art, now that Lee’s technicians are there, they are proud to offer those trendy




And, Lee says, customers can rest assured their nails will last. “We guarantee our nails for at least five days,” Lee says. “We fix anything for free within five days. After that, we are happy to take care of any issues that arise. But, if it’s not our mistake, we may charge a small fee to fix it.”
Kay Nail Spa offers a number of discounts, including 5% for members of the military and seniors ages 65 and older. Lee says she’ll also take 10% off all services on your birthday.
The spa also offers a loyalty card, where each service of $30 or more equals one point. Once you have 10 points, you’ll receive $10 off any service. In addition, Lee is offering 10% off all services to Neighborhood News readers with the coupon from the ad on pg. 32 of this issue.

Kay Nail Spa is located at 2653 Bruce

appointment, call (813) 527-6524 or visit KayNailSalon.com. To save 10 percent off all services, see the ad on page 44.



By Iris Vitelli Neighborhood News Correspondent
Located in the Medallion Corporate Park on the north side of S.R. 56 (just east of I-75) in Wesley Chapel, the Fields Insurance Agency can help you with all of your insurance needs.
Owners Michael and Nancy Fields have their roots deeply embedded in Tennessee but have added new roots in Florida since moving here in 2021. With agencies across multiple states — including Tennessee, Georgia and Florida — they are committed to broadening their reach by adding additional counties in Florida. The Wesley Chapel office of the Fields Insurance Agency now serves as Michael and Nancy’s home base and they say they are committed to serving the local community.

The agency offers a broad spectrum of insurance services, including personal and commercial property and casualty insurance, which encompasses auto, home, renters, boat, and motorcycle insurance. Select life insurance policies also are available.
The Fields Insurance Agency’s motto is: “Simple – Affordable – Comprehensive Insurance,” which encapsulates Michael and Nancy’s mission to provide each of their clients with the best possible coverage within their respective budgets. Numerous top-rated insurance carriers are represented by Fields Insurance, including Allstate, Citizens, Progressive and many more, some of which you may not even recognize.

but before doing so, he had to participate in a three-year program called “Replacement Agency Executive,” which required that he meet certain goals and criteria before he could take over. He successfully completed this process in 2014.
Nancy and Michael’s daughter Bethany, who went to school at the University of Mississippi in Oxford (aka “Ole Miss”), promptly secured a job in Tampa after graduating in 2019, and Michael and Nancy decided to follow their daughter. In 2021, Michael acquired a Brandon-based insurance agency.
“I had a place in Pinellas Park and went back and forth between Florida and Tennessee until 2023,” he says, adding that he and Nancy decided to make Florida their permanent home after Nancy retired from a long career as a teacher. “As we started looking for our perfect home, everything that we wanted was here in the New Tampa/Wesley Chapel area. We decided on a home in Grand Hampton, and we love it here.”
“There are too many to list,” Michael says, “and we are continually adding more companies so we can better serve our clients.”
him, and told Michael he thought it would be a good fit for him.
A comprehensive list of the insurance providers the firm is happy to offer is available at FieldsInsuranceAgency.com. “The goal is to give customers the best possible coverage they can afford,” he adds.
The Journey Michael recalls when a friend who worked in insurance mentioned he should go work with

“I was told I would probably like it and my answer to that was, ‘I doubt it’ but I decided to try it out,” he says, adding that his journey started with filing and office tasks, which he viewed as a temporary role. He learned about the business and, in no time at all, his friends were encouraging him to take the insurance exams — and an insurance agent was born.
Michael eventually took over the agency,
Integrity stands at the forefront of the company’s business philosophy. Michael and Nancy prioritize their clients’ best interests, offering free quotes and the ability to provide estimates swiftly, a significant advantage over clients seeking quotes on their own.
“I will make sure they are covered correctly,” Michael says, “so if a claim arises, we know their policy will cover them properly.”
The agency is proud to have many 5-star Google reviews, with an overall Google rating of 4.8 on more than 70 reviews. Client Dawn Morris highlighted the agency’s commitment to




excellent customer service when she wrote this in her 5-star Google review: “They call you back in a timely manner and help with your questions or changes in policy quickly. Not a lot of wait time.”
“People are focused on price, and I understand it,” explains Michael. “But, this can sometimes lead to sacrificing essential coverage.” He emphasizes the importance of understanding what clients want covered and what they expect in the event of a claim. Based on this understanding, he provides coverage options that offer them peace of mind. For clients with budget constraints, especially younger individuals, Michael and Nancy take the time to educate them, explaining the best options within their means and outlining ad ditional coverage to consider as their financial situation improves.
“I don’t want to ever get a call from a client saying, ‘Why did you not tell me I was not covered?,’” Michael says. “I never want to get that phone call, so we believe in educating our clients.”

and the entire process of switching both poli cies went very smoothly! Thank you!”
Being a “Ramsey Trusted Pro” is a recognition Michael and Nancy are very proud to have. Dave Ramsey, a renowned author and radio host based in Nashville, TN, offers financial advice and recommends companies that meet his stringent standards.
“Earning a spot on this list,” Michael says, “is a testament to our hard work and ethical business practices.”
Many satisfied clients attest to the efficiency and dedication of the Fields Insurance Agency. In her 5-star review on Google, client Anna Lollar shared, “Within the same day of using Dave Ramsey’s ELP (Endorsed Local Provider) program, I was contacted. After providing basic information, I was provided a quote that exceeded my expectations. I was very pleased with the communication and support.”
Michael and Nancy are pleased to report that, despite the negativity recently in local and national news media, insurance prices have remained relatively stable, with only slight increases. They attribute this stability to their diligent efforts to find the right insurance solutions for every one of their clients.
Client Janice Carson recently shared her positive experience in another 5-star Google review, saying, “Michael and Nancy provided
Michael and Nancy Fields exemplify an unusual dedication to their clients, community and the principles of integrity and education in the insurance industry. They are committed to ensuring that their clients always receive comprehensive coverage tailored to their individual needs.
The Fields Insurance Agency is located at 2600 Cypress Ridge Blvd., Suite C1, in Wesley Chapel. For more information or for a quote on your home, auto, business or other property needs, call (813) 651-0094, visit FieldsInsuranceAgency.com or see the ad on pg. 39 of this issue.









By Turiya Autry Neighborhood News Correspondent
The Law Offices of Matthew J. Jowanna, P.A., have been serving the legal needs of Wesley Chapel and New Tampa since 2005. The firm, located at the Windguard Professional Center off Bruce B. Downs (BBD) Blvd. in Wesley Chapel (near The Goddard School), specializes in personal injury, probate and estate planning and administration.
Attorney Matthew J. Jowanna has been practicing law for more than 30 years and has specialized in personal injury cases since 1994. The firm’s founder, president and managing shareholder, Jowanna says his experience working in large law firms in downtown Tampa inspired him to do things differently. He says his goal since opening his firm has been to make that big downtown law firm experience accessible to people in New Tampa, Wesley Chapel and the surrounding communities. Jowanna wants his clients to know that his is a quality local law firm focused on professional, caring service.
“I wanted to open a small neighborhood law firm,” he explains, “where people in the local communities are able to get top-quality legal representation.”
In order to expand the services Jowanna’s firm offers to clients, he recently added Farral A. Haber as managing attorney for estate planning and probate. Haber has been practicing law for thirteen years, with ten years specifically in trusts and estates. Together, Jowanna and Haber offer a wealth of experience to their clients.
“We don’t do everything under the sun,” Jowanna says, “but our practice areas now include some of the most common needs in the neighbor hood — we’re here as neighbors to help you with the typical legal problems that you and your neighbors may have.”
When it comes to injury cases, whether someone gets hurt in a car accident, while on vacation or in the workplace, The Law Offices of Matthew J. Jowanna can assist you. Jowanna also helps clients who are having problems receiving their deserved benefits from insurance companies. Meanwhile, Haber’s estate planning and probate specialization helps clients with creating wills, living trusts, estate planning and probate cases. Regardless of which services you require, Jowanna and Haber make every effort to meet those needs, and also make accommodations for their clients’ financial needs.


Attorneys Farral A. Haber (left) & Matthew J. Jowanna of The Law Office of Matthew J. Jowanna, P.A., located off Bruce B. Downs Blvd. in Wesley
Jowanna’s first job out of law school was for an insurance defense firm, which helped him realize that insurance defense wasn’t where he wanted to spend his career.
“It’s the opposite of what I do now,” he explains. “Doing that made me realize that I was on the wrong side of the fence, and I would prefer to be on the plaintiff side to help someone in their claim against a big insurance company.” He says he is appreciative of the knowledge he gained from seeing the other side, and that it has given him added insight when working with clients who are going up against insurance companies.
Jowanna and his firm have been included U.S. News & World Report’s rankings of the Best Lawyers and Best Law Firms in the U.S. He also is included in the Bar Register of Preeminent Lawyers, a unique guide to the legal community’s preeminent professionals who have received the highest ratings, according to the prestigious Martindale-Hubbell Law Directory.
“People shouldn’t have to drive to downtown Tampa for quality legal representation,” Jowanna says. “Every client is important and every case is different.”
Jowanna earned his Bachelor of Arts (B.A.)

degree in Broadcasting and Mass Communications from the University of South Florida in Tampa. He worked for several Tampa Bay area radio and television stations for seven years before pursuing his law degree. He then obtained his Juris Doctor (J.D.) degree from Nova Southeastern University in Ft. Lauderdale and graduated Summa Cum Laude (with Highest Honors) in the top 2% of his law school class. He also completed a prestigious postdoctoral Legum Magister (LL.M., or “Master of Laws”) degree from the University of Notre Dame, in Notre Dame, IN, where he graduated Magna Cum Laude (with High Honors) and received a perfect score on his LL.M. thesis.

Tampa is ranked in the top-10 worst cities for drivers. Therefore, if you drive regularly in the Tampa Bay area, you have most likely witnessed an accident, its aftermath, or have possibly been involved in a collision yourself. Jowanna shares the following advice on what to do if you find yourself in that situation.
“I tell every client to take care of yourself first,” says Jowanna. “Your injuries obviously come first; the legal claim will be there afterwards. If you get into your typical fender bender and still have your wits about you, you should take photographs. A picture is worth a thousand words. Document, document, document!”




Clients truly appreciate the way the firm advises them and goes above and beyond, even in the most challenging scenarios — as evidenced by its 4.9-star (out of 5) overall rating on Google on more than 50 reviews. And, while it is a neighborhood practice, the attorneys and legal staff can assist you even when you are far from home.
In a five-star review on Google, Alexander Hunter says, “They handled my accident claim with incredible patience, even though I had to process everything from overseas. The team took the time to explain every step in detail and negotiated on my behalf when issues arose with different medical providers. Their professionalism and commitment to my case made a stressful situation so much easier.”
Helping folks during difficult and emotional times is an aspect of the work that Haber says she finds most rewarding. Working in probate and estate law, Haber helps clients both prepare for their future as well as wrap up the affairs of someone who has passed. She helps clients with the process of figuring out exactly how an estate is to be administered, locating assets, discerning whether a court needs to be involved, as well as explaining what paperwork needs to be filed.
Haber earned her Bachelor of Science (B.S.) degree in Psychology from the University of Florida in Gainesville, cum laude (with distinction). She was the Valedictorian of the College of Liberal Arts and Sciences. She then earned her Juris Doctor (J.D.) degree, cum laude, from the University of Florida, Levin College of Law. While in law school, Haber received the Book Award for the highest grade in Trial Practice; she also was the Executive Articles Editor for
the UF Journal of Law & Public Policy and was a Certified Legal Intern with the State Attorney’s Office. She is licensed to practice law in Florida, Virginia and the District of Columbia.
While Haber initially started out as a litigator, after a few years, she chose to focus on estate planning and probate. “What I love about estate planning is that it is something that everybody needs, and yet it is so easy to put off,” she says. “I enjoy demystifying the process for folks and explaining things, making it approachable and customizing it to what a client actually wants, then seeing those goals put into practice.”
Haber adds that she encourages people to plan ahead of time, and to not be afraid of the process. “People avoid it or dig their head in the sand because they don’t understand what it entails,” she says. Her goal is to make estate planning more approachable for clients and to help them get something in place, even if it is a step-by-step process that takes a few years.
Jowanna says Haber’s talents are a great addition to the practice. “We are simply thrilled to have Farral joining us,” Jowanna says. “I hope the clients are as thrilled with her as we are.”
While both Jowanna and Haber say they see growth of the firm as a goal, they are clear about what they want that growth to look like. “I never want to get so big that I don’t remember a client’s name and I don’t remember their file,” explains Jowanna, to which Haber adds, “I certainly want to assist as many folks as I can, but I never want to sacrifice quality.”

The Law Offices of Matthew J. Jowanna, P.A., are located at 2521 Windguard Cir., Wesley Chapel. For more information, call (813)929-7300, see the ad on page 43 or visit LetMattDoThat.com.




Located in the Pebble Creek Collection on Bruce B. Downs (BBD) Blvd., Your CBD Store of New Tampa has calming blue-grey walls, greenery throughout the store, comfortable seating and an expansive, open layout. With informational displays and posters, exceptional customer support, and product knowledge, the husband-and-wife team of David Calcador and Debra Curler make you feel immediately at home.
David & Debra opened their Your CBD Store franchise location in November 2019 and it has thrived through the pandemic, thanks to the dedication of these two New Tampa residents. “When customers come in, we ask them what they know about CBD,” Debra says. “Some are well-educated and we walk the others through the store and introduce and educate them about our product line. We find out what their problems are health-wise. Are they in pain? Are they having problems sleeping? Do they need energy? We need to know what is happening in their bodies to help direct them to the proper products.”
Your CBD Store is a holistic boutique providing USDA organic and carcinogen-free oral and topical SunMed CBD products for customers and their pets. At Debra and David’s store, CBD comes in both flavored and flavorless tinctures, oils, pills, gummies, weight-loss products, as well as a skincare line, bath bombs, lotions, massage oils, pain creams and products for dogs and cats.
Unlike marijuana, Your CBD Store offers broad-spectrum CBD products that have zero THC, as well as full-spectrum products with the 0.3 legal limit of THC that contain all cannabinoids (CBD and THC), terpenes, or flavonoids.
With anti-inflammatory and other health effects, flavonoids are plant compounds that


give plants their colors and flavors. Flavonoids work with cannabinoids and terpenes, which are naturally occurring compounds in cannabis that shape aroma, taste, colors and therapeutic benefits, to produce the “entourage effect” enhancing their impact. “CBD needs to have terpenes and flavonoids,” David says. “They bond to receptors in your body. Without those, you won’t have the full benefit of CBD.”

doctors who send patients to us because they know the quality is there.”
What’s New?
Debra and David are enthusiastic about their store’s newest products, some of which have been enhanced with more CBD, like their SunMed topical
cream, which is now available in 4,000-milligram strength, while others are brand new.
Debra and David says that love educating their customers and clear up misinformation about CBD. Their CBD products won’t get you high, aren’t illegal, won’t make you impaired and you don’t need a Medical Cannabis card to purchase them.
Instead, their products help with anxiety, sleep issues, chronic pain and more.
“Our products are all-natural, organic, and non-addictive, Debra says. “You can buy CBD anywhere — a smoke shop or gas station, even on Amazon — but you don’t want to do that because anything you are putting on your body or in your body, you want to make sure it is good quality. You risk getting a synthetic, damaging product that can harm your health.
David adds, “We’re third-party tested. We have QR codes on everything we sell; you can bring up each product’s lab report. We have referring
“Our topical cream is amazing for isolated pain,” Debra says. “I had a knee replacement years ago, and I had not been able to walk long distances. The product came out in December, and my husband and I were going Christmas shopping, and I could walk the entire mall. It’s been selling off the shelves left and right. We’ve always had 1,000- and 2,000-milligram strengths since we opened, but the 4,000 milligrams is amazing.”
Debra also recommends Neuro, a water-soluble CBD, for pain management. While the store’s original daily oil tincture takes time to work, based on your metabolism and weight, the as-needed, water-soluble Neuro CBD effects are felt more quickly. “You take the dropper of Neuro and put it in a Dixie cup size of water and drink it,” she says. “It goes into your body within 10 minutes, comes in 900-, 1,800-, 2700- and 5400-mg strengths, and is



also available in gummy form. People love it. I have a lady who comes in weekly and buys two jars. It helps with aches and pains throughout the body.”
Your CBD Store New Tampa also sells libido gummies for intimacy for men and women, as well as both “Above” (with Delta 8 THC) and “Beyond” (with Delta 9 THC) by SunMed, both of which are all-natural (non-synthetic). New Delta 9 options include Xite candies and popcorn.
Also new are THC-infused Nowadays Adult Beverages, which Debra says is non-alcoholic, “but gives you a mellow feeling.”
As some prescriptions can conflict with CBD, Debra and David suggest that if you are taking medications, you should speak with your physician before starting any CBD regimen.
For pet parents, beyond their regular CBD pet treats, chews and tinctures for health and anxiety, Debra recommends another new product — Broad Spectrum Allergy Aid CBD Pet Chews, which have only been in the store for about a month, to help with “hot spots” and seasonal skin allergies.
Debra and David are proud of their store’s Google reviews, which average a 4.9 stars out of 5, based on 170 reviews. “If you look at our reviews,” Debra says, “you’ll see people love the products and that they’re changing lives.”
Your CBD Store of New Tampa (19651 BBD Blvd. Suite B-1) is open Mon.-Sat., 10 a.m.-6 p.m., and 1 p.m.– 5 p.m. on Sun. Ages 55 or older can save 20% off their purchases. The store also has a bonus system whereby customers accrue points for discounts and free products. Free local delivery/free shipping are available for orders of $100+. For more info, call (813) 9940599 or visit GetSunMed.com.
By Gary Nager
Charmaine George
Managing partner Abby Fletcher says that Bubba’s 33’s menu hasn’t changed much since the Texas Roadhouse-owned sports grill first opened on the south side of S.R. 56 back in early 2020, just before the Covid-19 pandemic began.
“The fact that we’ve only made minor tweaks to the menu since the restaurant first started (in Fayetteville, NC, back in 2013) means that we’re doing just fine,” Abby says. “We now have about 50 locations and everyone seems to love that our food is almost all made from scratch, unlike most sports bars.”
It’s hard for me to believe that the Wesley Chapel Bubba’s 33 has been open for five full years, but considering that we hosted our “car karaoke” and “parking lot karaoke” events outside of the restaurant during the pandemic — and the fact it is still here and still attracting new custom ers — is clear indication that the Wesley Chapel Bubba’s 33 is doing just fine, thank you!

And, just because the menu hasn’t changed too much over the years, that doesn’t mean that Bubba’s 33 doesn’t keep adding new items. It just means that most of the original menu also is still around and making local diners happy.
So,
Bubba’s 33 is famous for its wings, unique, crisp-crust pizzas, burgers and other sports bar fare, but if you haven’t tried the grilled or espresso-rubbed signature ribeye steaks, they’ve been made even better by adding one of the three new “Bubba Style” toppings — with either bacon and bleu cheese sauce, or with queso, peppers and onions, or with sautéed mushrooms and onions, as shown in the top left photo on this page. I’m not really a big mushroom fan myself, but the mushroom and onion sauté adds a great, buttery flavor, as well as additional tenderness, to an already tender ribeye. My first time trying the grilled ribeye with this topping definitely left me wanting more. The menu also shows the already-tasty Southern Fried Chicken dinner with the queso “Bubba Style” topping, which looks pretty great, too.
As for what else is new, Bubba’s 33 already has had layered cheese fries as an appetizer on its menu, which have not only melted cheese and bacon, but also queso and green onions. But now, when you get a side of French fries or tater tots, you can get them topped with cheddar and Jack
cheeses and bacon (as shown in the photo, right).
The only other new menu additions are the three new Bubba’s “Mocktails” (below right) — which can not be ordered with alcohol (I know because we asked, lol). Left to right in the photo are the Sparkling Berry Bliss, the “coconutty” Tro pical Breeze and the Strawberry Cucumber Fizz. Even though “Dry January” may have ended, if you’re trying to continue to at least reduce your alcohol intake, give one or all three of these a try.
Another item that isn’t actually new to the menu but which we tried for the first time is the cheesy spinach dip shown top right on this page. As someone who finds most spinach (or spinach and artichoke) dips too heavy, this Bubba’s 33 spinach dip is a creamy welcome change — especially because it’s served with freshly baked (and grilled) garlic focaccia bread. Charmaine and Jannah both preferred it with the house-made tortilla chips and fresh salsa — Jannah called the salsa “legit” — but the focaccia is excellent, too.
Other favorites of ours include the Bubba’s Bacon Cheeseburger (below), one of ten burgers on the menu (which also includes a black bean & quinoa veggie burger), and the Meaty Meaty Pizza (top photo on next page), which features bacon, homemade Italian sausage, pepperoni and scratch-made tomato sauce. I told Abby that I enjoy Bubba’s pizzas even though they are not truly New York-style, because the sauce, cheese and always-crispy crust are still mighty tasty.


One dish I can’t sample but has become Charmaine’s new favorite at Bubba’s is the creamy



pasta, grilled chicken, sautéed shrimp, roasted peppers, onions and mushrooms, all tossed in a semi-spicy chipotle cream sauce and topped with cilantro and parmesan cheese. It’s also served with garlic focaccia bread.
And, Jannah and I still enjoy the Bubba’s lasagna, the Chicken & Bacon Mac & Cheese, the California Chicken (grilled chicken breast topped with avocado, pico de gallo, Jack cheese and scratch-made honey lime sauce, which we order on the side, over garden rice), the Southern Fried Chicken and Fish & Chips (Atlantic cod golden-fried in Sam Adams Boston Lager batter).
Popular appetizers at Bubba’s 33 include the
Fried Cheese, Bubba’s Nachos and Chorizo Queso Dip. There’s also a Combo Appetizer featuring boneless wings with your choice of sauce (see below), the crooked fried cheese and fried pickles served with a trio of sauces.
And of course, Bubba’s offers nine different sauces for its traditional (bone-in) and boneless wings, from hot or mild Buffalo-style to “Kickin’ Teriyaki,” Garlic Parmesan and Cajun spice rub, plus unique options like Habañero Heat, the hot&-sweet “Shotgun” and Raspberry Chipotle. For dessert, the chocolate chip cookie and Oreo® brownie (bottom right picture on next page) sundaes are both great, as is the Bubba’s






cheesecake, especially the “Turtle” style (topped with fudge and caramel). The cheesecake also is offered “plain,” with strawberries and whipped cream, but why bother? (Just kidding!)
The Bubba’s 33 Kids’ Menu ($5.99-$7.99) includes everything from a mini-pizza to a Kids’ Mac & Cheese or Grilled Cheese and many more. Entertainment, Specials & More
Like most sports bars, Bubba’s 33 has lots of TVs all around the place, but it also usually shows rock and other music videos on some of the screens. And, pretty much every day has either a different food or entertainment special — or both.
For example, there are Burger Mondays, which features all burgers on the menu for just $10.99. Mondays also are “Ditch the Digital” days where you earn a free dessert or appetizer for your next visit if you put your electronics in a pizza box and don’t open the box for the entire meal.
On Tuesdays, any 12” pizza on the menu is just $12.99. The always-fun “Music Bingo” game also is played in the bar area on Tues., between 7 p.m.-9 p.m., with prizes awarded for each round.
Wednesday is “Kids Day,” when up to two kids eat for just $0.99 with each adult entrée purchased. Abby says there also usually is a “craft” for kids every Wed. and “Magic Mike” (not the one you’re imagining) performs magic for kids and twists balloon animals some Wednesdays. And, Thursday is Trivia Night, starting at 7 p.m.


Bubba’s 33 also has a “Fan Club” rewards program which includes news and special offers an can earn you FREE food. The restaurant also supports the late Jim Valvano’s “V Foundation” with $1 donated for each “Dickie V” pizza (named for sportscaster and Tampa Bay local Dick Vitale, a close friend of the former North Carolina State coach) sold. Valvano lost his battle with cancer in 1993. Bubba’s 33 also donates $1 for every Patriot Burger sold to Homes For Our Troops, which has provided multiple homes for veterans in Wesley Chapel.
Abby says if you want your food delivered, it’s “always better to order it direct at Bubbas33. com, which has a flat $5.50 delivery charge and no added fees or higher menu prices.”
Bubba’s 33 (26340 Silver Maple Pkwy.) is open every day for lunch and dinner. For more info, call (813) 522-5090, visit Bubbas33.com or see the ad on pg. 41 for this month’s FREE appetizer (with entrée purchase) coupon special.






If you’re looking for a great new place for boba tea that also offers a variety of differenteach-day, fun activities, look no further than the new University Boba Tea House, 2828 E. Bearss Ave., in the Palms Connection plaza, just west of Bruce B. Downs (BBD) Blvd. Although the place wasn’t quite open at our press time — so I can’t show you any pictures of the food or beverages on these pages, University Boba Tea House co-owners (and emergency room physicians) Dr. Michael LoGuidice (aka “Dr. Mike”) and Dr. Steve Tersheshee told us that by the time this issue reaches your mailbox (on or Tuesday, March 4), the new location will definitely be open.




If the name sounds familiar to you, Dr. Steve’s International Boba Tea House (which changed names to “University” when he partnered with Dr. Mike) was open for 15 years off E. Fowler Ave., in a plaza next to University Mall. The new location will make the place more accessible to New Tampa residents, but will have many of the same features as the previous location — especially a huge variety of different and unique boba tea flavors, with both bursting (or popping) and jelly-style bobas.

When I say unique, I mean it! While you can get boba tea flavors like mango, peach, strawberry, etc., almost anywhere, University Boba Tea House also boasts flavors like “Tiramisu” (taro, mocha & cappuccino), “Pikachu” (mango, peach, pineapple & banana), “Purple Rain” (lavender, blueberry, almond and taro) and more than three dozen more.



creamer and sweetener), from favorites like Chai Tea Latte to Lavender and Lychee Latte. There’s also fresh-brewed loose leaf black, Thai and jasmine green tea.
Dr. Mike also promises to have a variety of fresh muffins — including cinnamon crunch, double chocolate and more — and other pastries, plus ramen noodles. There’s also a conversation-starting “Pucker Powder Candy

flavors that are supposedly lower in sugar than many other candy items.
But, the place also features a USF student art gallery and a nice-sized stage for live bands, Open Mic and Karaoke nights. In fact, it is open noon-midnight seven days a week and there are different events scheduled for every night of the week except Sunday. All of these weekly events are shown in the ad at the bot-






tom
“We’ve
— by Charmaine
George








MONDAY:
TUESDAY:
WEDNESDAY:
FRIDAY:




Benjamin Burkhalter, the franchise owner of Everbowl Craft Superfood in the Publix-anchored New Tampa Center plaza at 19036 Bruce B. Downs (BBD) Blvd. (at New Tampa Blvd.), may look a little young to be an entrepreneur, but he says he recognized a good product when he saw one.
“I’ve been into eating healthy and working out since my teens,” Benjamin says. “But, when I visited my brother, who was stationed in San Diego, where Everbowl started, I met (founder and CEO) Jeff Fenster and sampled a lot of its healthy menu, so I decided to open a franchise here in Florida.”
The only other Florida Everbowl of the chain’s 100+ open and coming soon locations is near the University of Central Florida campus in Orlando and Benjamin says a lot of the existing locations are near or on college campuses, and he is looking to open others in his Tampa Bay-area territory.
“I liked the look of the stores and the fact that everything is super-fresh and that we have so many different bases for our bowls and smoothies,” Ben jamin says. “I just feel like if people try us, they’re going to love it!”
Photographer Charmaine George (who took the photos on this page) and I sampled a few menu items on our first visit and we enjoyed everything.
Charmaine absolutely loved her PB Everbowl, which included an açai base, with granola, fresh bananas, strawberries and blueberries with a peanut butter drizzle. We each also tasted a spoonful of other bases, including “Coco Love,” Blue and Mango Majic, Cacao Wow and vanilla. They re minded us of fresh fruit sorbets and frozen yogurts.
I was in the mood for a post-workout smoothie, so I ordered the PB Cacao Dream, which uses the chocolatey Cacao Wow base, blended with bananas, cacao nibs, peanut butter and almond milk, and Benjamin added a scoop of protein powder. I finished the entire large-size smoothie while I interviewed him.
Assistant manager Abby Roneker (at right in photo, right) also made us my surprise favorite menu item, the Bruschetta Avocado Toast, which is a thick slice of toasted rustic artisan bread topped with house-made (and truly fresh) avocado spread, marinated tomatoes, basil and a tasty balsamic drizzle. I’m not as big an avocado fan as Charmaine is, but we both loved it!
Everbowl also offers a variety of lemonades and fruit teas with unique flavors like dragon fruit,






















Although not everyone is happy about yet another chicken-driven restaurant opening in Wesley Chapel — with Raising Cane’s, (see pg. 44), Dave’s Hot Chicken, Chicken Guy! and Hangry Joe’s Hot Chicken all opening in our area within a few months of each other — Chick-fil-A may be the one chicken restaurant that most locals still embrace.
Chick-fil-A — which is currently the third most popular fast food restaurant by sales, behind McDonald’s and Starbucks (in that order) — has now gone vertical (photo) on the east side of Curley Rd. (north of Curley’s intersection with Over-

pass Rd.; see map) across from the Epperson community, within the Watergrass Master Planned Unit Development. Most of the building’s shell is now in place.
This new sign announcing Chick-fil-A’s latest Wesley Chapel-area location gained quite a bit of attention on social media, as Patricia Elizabeth, who has previously described herself on Facebook as the marketing director for “Chickfil-A Wesley Chapel,” was quick to step into the conversation and give everyone the link to the store’s new Facebook page (created on Jan. 31)and explained that it would be, “Owned and operated locally by the
same owner as Chick-fil-A Wesley Chapel” — the one on S.R. 54 just east of Bruce B. Downs Blvd., on S.R. 56, not the location in front of the Tampa Premium Outlets, as some may have been thinking.
The new Chick-fil-A will be located five miles away, on a 1.9-acre lot appraised at more than $1.28 million.
According to Patricia, despite being located in Watergrass, the new store is being called “Chick-fil-A Epperson Ranch FL,” because it was named by corporate. However, she assures everyone that, “We are happy to be a part of both neighborhoods!” She also announced that this Chick-fil-A should be open by the end of May. — JP








Avalon Park Wesley Chapel (APWC)’s downtown area is continuing the community’s tradition of great open-to-the-public events. Case in point — on Jan. 24, franchise owners Antoine and Idalice Stokes of Rita’s Italian Ice in the first APWC downtown building celebrated the store’s official Grand Opening with a ribbon cutting and a free Italian ice and frozen custard giveaway that attracted hundreds of well-wishers and frozen treat fans, as the line wrapped around a large portion of The Flats at Avalon Park Apartments building for most of the afternoon.
That event, which also included a DJ, a fire truck from Pasco County Fire Rescue, District 2 Pasco County Commissioner Seth Weightman and the Wesley Chapel Coyotes Cheerleaders, as well as a Justice League-
At least four food trucks were on hand for this first rally, including Westchase BBQ (photo below left), Pane Piatto Pizza (below right), Taco Holic Nacho Wagon. APWC, which contin ues to have individual food trucks in the downtown area on many Mondays and Thursdays, will host its next Food Truck Rally on Friday, March 28, 5 p.m.-8 p.m., although which food trucks were expected to attend had not yet been an nounced at our press time for this issue.
For more info about Avalon Park Wesley Chapel’s downtown (4424 Friendly

















Whether or not you were one of the midwestern U.S. natives who lost their minds when it was first announced that Portillo’s Hot Dogs was coming to “somewhere near” the Tampa Premium Outlets, you had a recent chance (on Jan. 26) to check out the Chicago fave in person at the main entrance to the outlet mall.
The Portillo’s “Beef Bus” sat at the mall’s main entrance from 11 a.m.-6 p.m. that day, but a lot fewer people than I expected showed up to sample the Chicago-style hot dogs, chili dogs, crinkle-cut fries and Italian beef sandwiches, probably because there wasn’t much promoting of the Beef Bus’ appearance beforehand (at least not that I saw).
When photographer Charmaine George and I visited shortly after the Beef Bus first arrived that day, there were no lines whatsoever, but we immediately posted some pics and announced that even if you didn’t show up that day, you could still grab one of the “BOGO” cards (valid at any Florida Portillo’s, including the closest location on E. Fowler Ave., in front of the University Mall) that the restaurant’s marketing crew was giving away that day. They gave us about 50 of the cards, which we mentioned in our Facebook post and asked our readers/ followers to direct message me to say “I Love Portillo’s” in order to be sent one of the cards in the mail. At our press time,
we still had a handful left, so if you want one, send me an email with “I Love Porti llo’s” in the subject line and we’ll mail you one, too, while my small supply lasts!
Our new friends at the Portillo’s Beef Bus don’t know when or for sure where Portillo’s will open (or they at least didn’t say if they did know), but we have now been told by employees of Rock & Brews, which fronts S.R. 56 in front of the mall, that the KISS-inspired restaurant will close by May 1 of this year, when Portillo’s will begin the process of revamping the Rock & Brews building in anticipation of opening the Lutz/Wesley Chapel Portillo’s before the end of 2025.
In the meantime, I hope you will








WhenYouSpend $50orMore!
Foodportiononly; drinks&taxnotincluded. Musthaveormentioncoupon. Onecouponpertableonly. Cannotbecombinedwithotheroffers. EXPIRES2/10/2022















•The Route 24 (w/pancetta, green olives & jalapeños)
•The Route 140 (w/linguiça, banana peppers & onions)
•Or, Build Your Own!






Raising Cane’s, the Baton Rouge, LA-based fast casual fried chicken chain founded by Todd Graves in 1996 that serves only fried chicken fingers (also avail able on a sandwich), crinkle-cut fries, Texas toast and cole slaw (right), opened as previ ously announced in our last issue at 25952 S.R. 56, Lutz, next to Rock & Brews. based on the crowds that were still filling the parking lot more than three weeks later, we know people are excited about it!
Jannah, photographer Charmaine George and I were there on opening day and we also attended the restaurant’s soft pre-opening VIP event on Jan. 27 — and I have to say that we were all pretty impressed. Yes, the menu is simple, but it’s done right — the chicken fingers are lightly seasoned (NOT at all spicy!), super-crispy outside and moist on the inside. The fries also are crispy and tasty (and seemingly not seasoned, other than lightly salted, which I, for one, appreciate), the Texas toast is legit and the cole slaw is creamy and has just a hint of sweetness.


If you only like spicy chicken, this is not the place for you, as even the Thousand Island-style “Cane’s sauce” offers no heat at all. But, if you like your chicken extra crispy and tasty, Raising Cane’s is definitely worth visiting!
As for opening day, 20 of the first 100 people in line (top photo) on Jan. 28 received free Raising Cane’s for a year, but yours truly was
Stephanie Wielinski (in red in photo below) made it clear to everyone on line that being first didn’t guarantee receiving one of the top prizes, Realtors® Chad and April Emory of Emorys Rock Realty (visit EmorysRockRealty.com) and I didn’t think that was fair, so we went ahead and purchased enough gift cards to cover one year of free Raising Cane’s for those dedicated young ladies.
Scarlett did receive a nice gift basket for being first in line, but April, Chad and I felt that just wasn’t enough for her and her sister!
Raising Cane’s gets props for providing a check for $1,000 to Wiregrass Ranch High (pho to below), which brought along its cheerleading















AQUATEC POOL SERVICE has been keeping pools clear & swim safe since 1994. WE DO POOLS RIGHT! Commercial & Residential. CPO #33-303052 Licensed & Insured. Service guarantee. Call 813-312-5694 TODAY & get 1 MONTH of quality service FREE. For more info, visit AquatecPools.org.
KITCHEN & BATH REMODELING SPECIALIST. An award-winning company in the US serving the Wesley Chapel area for 35 years. Five-star rating on Google & “A” rated by the Better Business Bureau. Specializing in kitchen & bath remodels. For estimates, call James at 813-385-6402 or see our display ad on the next page!.
FLOORING- Luxury Vinyl Plank Installed! Buy anywhere, we will install it!. $1.69/sq. ft. (over 300 sq.ft.). Regular-size bedroom - $399, We will haul away carpet/tack strip & move major furniture pieces. Call for free estimate 813-417-7689. Let’s save some money!
BATHROOM & KITCHEN REMODELING. Top quality, professional, licensed, & insured contractors. Family owned & operated for over 30 years. We take the hassle out of remodeling. Call Ken of Hangliter Residential for an estimate. 813-4604548 or see our display ad on the next page for additional info.
NEED HELP PACKING, UNPACKING & ORGANIZING? Let us help you! We LOVE putting things in their place. We specialize in helping you de-clutter, organize & purge unwanted/unused items. We can unpack & organize your new home or help you prepare & pack for your move. Call 813-523-2421 or 813-469-7935 or visit homesweettampabay.com.
WESLEYCHAPELPRESSUREWASHINGCOM Soft pressure ext. house cleaning, screen enclosures, pool decks, driveways, sidewalks, fences, roofs, paver sealing & deck staining. We clean everything. No job too big/small. Exp. the difference when you hire a pressure cleaning pro. Licensed & insured. Owner operated. Call for a free estimate 813-433-6015.
RAYMOND PAINTING. Ext. & Int. Svcs. Ext: Painting, pressure washing, clean & seal pavers, stucco, roofing, leaks & wood rot repair. Int: Painting, plastering, ceiling & wall repairs & tiles. Licensed & Bonded. References available. Free estimates. Your Neighborhood Arbor Greene Resident! We work 7 days. Call 813-994-5124.
DRY WALL SPECIALIST. Not a handyman. Affordable, Quality Work repairing water damage, ceilings & walls, re-texturing, popcorn removal, room addt’ns, cracks, holes, plaster & stucco repair. 30+ years of exp. WC resident. State Certified. Call Ron for a free estimate: 813-784-5999. Lic. #SCC131149699
Flooring/Waterproof Vinyl Plank Installation! Affordable & knowledgeable service, $4.99/sq.ft, including a 20-mil Luxury vinyl plank. We’ll move appliances, heavy furniture & existing floors & haul them away as recommended. Free in-home estimates always offered. Call today: 813-804-2544.
LAWN & LANDSCAPING_______
JOHN IDEAL LAWN & LANDSCAPES. We provide all normal lawn & landscaping svcs: •Mow •Edge •Turf Trim •Air-Sweep •Right-of-Way Weed Control •Bed Edging •Resod •Design Your Lawn •Mulch •Shrub Trim/ Shape •Hedge Trim •Yard Cleanup. “For no lawn stress, just join John’s Curb Appeal Success!” Save 12%/mo for 6 mos w/a 1-yr contract. Call Maitland John @ 813.327.1039.
ALL DIMENSIONS LANDSCAPE & EXTERIORS, LLC. Complete resid’l & comm’l landscape, hardscape & softscape. Mulch & decorative stone. Patios, decks, retaining walls, property maintenance & lawn care. Sod & lawn install’n, artificial turf, fencing, railings, soft & hard pressure washing, painting. We do anything exterior. Call (724) 541-2535 or (813) 485-6661 for a 25% discount on labor & materials.
J’S CUTTING EDGE LAWN SERVICE — Over 5 years of quality full lawn care and landscaping services at affordable rates, Including Mowing, Edging, Trimming, Blowing, Cleanups & more. Call or Text 813-842-7753 for your free quote today.
AIRPORT SHUTTLE SVC. C&R Transportation Svcs of Tampa Bay, LLC, is a shuttle service that provides safe & reliable transp. to & from your destinations.• New Tampa Transfer, $69 • Wesley Chapel Transfer, $79 • ZHills Transfer, $89 • Dade City Transfer, $129. Book Online @Crtransportation.org or call (813) 895-7413. Receive a FREE T-shirt w/every transfer. AUTOS WANTED! Autos/trucks/small campers/small boats wanted! We pay top dollar! Any condition, Free Removal 24/7. For more info, call (813) 461-0062.
ELITE RIDES. Private rides in a sanitized 2023 Tesla, plus concierge services. Airport, schools, medical appointments, shopping, etc. Courteous, reliable professional. New Tampa to Tampa Int’l Airport - $45 (one way). Cory Lake Isles resident. For more info, call or text 813.765.2037.
SERVICES ____
PROF’L TECH SUPPORT in your home or small biz. A+ Cert. computer tech w/25 years of exp. Maint. & Repairs, Upgrades & Tutoring. More affordable than chains! Friendly, personal svc. Tech jargon explained. Remote assistance & refs. avail. Call (813) 957-8342 for a free estimate!
DO YOU HATE YOUR COMPUTER?!? WE CAN HELP YOU! Troubleshooting, Installation, Networking & Virus Removal. WE COME TO YOU! Residences & Businesses, more than 25-Years Experience. Contact Jeffrey Blank at 813-973-4507, visit WSICA.COM or email Wsica@wsica.com.
PATY CLEANING SERVICE. Comm’l or resid’l cleaning service. We have our own supplies & 10 years of experience. Free estimates. Call 813 790-8715 or email paty8624@proton.me.
ROSE’S CLEANING SERVICE. We make sure your home will be shiny & clean. Whether you need one-time, weekly, bi-weekly or monthly svcs, we will customize a plan to accommodatesyour needs. Residential/offices/ airBnB,etc. Call/text Roseli for a free estimate anytime: 813 400.4946. Or, email:rrduar@yahoo.com.
NEXT HOME CLEANING. With 20+ years of prof’l house & office cleaning services available. Trustworthy, efficient, and affordable. Transform your space into a spotless sanctuary. Eco-friendly products. Satisfaction guaranteed. Book now & enjoy a pristine home! FREE ESTIMATES! Contact us today at 813-860-1524 or visit our website nexthomecleaningservices.com.
ANA PARRA HOUSE CLEANING SERVICES. Prof’l House Cleaning — Best prices & quality,.Licensed & Insured. Routine, Deep & Move-In/Move-Out cleaning. Serving New Tampa /Lutz/Wesley Chapel & more. Weekly, bi-weekly, monthly or special needs. Avail. MonSat. Refs avail. We supply our own cleaning products & equipmt. Call or text for free est: (305) 338-0981.
PURE SHINE CLEANING Office & House Cleaning Services! Carpet cleaning, too! Free estimates. We use our own supplies. Affordable & Reliable. FamilyOwned & Operated. Wesley Chapel Resident. Weekly/ Bi-Weekly/1-Time Cleaning/Move-In/Move-Out & Deep-Cleaning Svcs. Serving Wesley Chapel & New Tampa. Call today for a FREE No-Obligation Quote: 813-462-1270.
CLEANSWEEP CLEANING CO, LLC. Fully licensed/ bonded, 8 years exp, satisfaction guarantd. Prof’l staff. On-time. We can bring our own products or use yours, if you prefer. Christian-based, family-owned company that lives in New Tampa, serving New Tampa & Wesley Chapel. Call (813) 340-0908 for a no-obligation free quote. Ask for John.
REAL ESTATE & OFFICE
Steven Kessel, REALTOR® w/Future Home Realty, Inc., has created just for you, the most advanced, upto-date, user-friendly propty search engine for homes for sale in the Tampa Bay & Central Fla area — & it’s FREE to use & enjoy. BuyYourDreamHome.com.
For Rent — Three BR, fully furnished ground flr condo in Anand Vihar, a beautiful indpndnt living, gated community in lovely Wesley Chapel area. Beautiful clubhouse, with gym, swimming pool, game room, auditorium & dining hall. Lunch/dinner meal plans avail, if needed. Call Dinesh @ 716-830-7260
___TREE SERVICES ___ FITZPATRICK’s TREE SERVICE, INC. 27 yrs of Prof. Svc. Licensed & Insured. Free Estimates. Tree Trimming & Tree Removal. Stump Grinding. Dead-Wood Removal. Affordable Rates. 24-Hour Emergency Storm Service. Free Mulch. Call 813495-9541 or 813-788-TREE.
Is your Classified ad missing from this page? Call (813) 910-2575 to order or renew your ad today!
PHOTOGRAPHERS & CREATIVES: Looking for a photo studio space in New Tampa? We offfer a weatherproof, luxury exp. for your clients in this 705-sq-ft creative space. Natural light, white walls & light laminate floors make the space bright & airy. Studio lighting, props, furniture, paper & cloth backdrops & more avail. Book/inquire online: Jessicabuttererphoto.com/ rent-the-studio or call Jessica 914-844-2894
Were you self-employed during 2020 and 2021? If so, the IRS is giving out refunds — get your money in only 2 weeks. It takes only 10 minutes to find out how! Call 813-784-2243.
SHARPENING SERVICE. Knives, Scissors & Garden Tools. Prices/Svcs & Calendar of venues available @ mmsharpening.com. Every Friday, 9am-4pm, through March 2025. NEW LOCATION: @ Harvey’s Hardware (Case Knives), 5400 Land O’Lakes Blvd., LOL. Contact M&M SHARPENING, Mark Bertsche @ 518-260-5916.
CNA/HHA & Companion. Will provide private care in your home. 25+ years of exp. References available upon request. Call Rhonda at 850-586-1868.
Prof’l Resume Guru & Consulting Services LLC. Ready to unlock your full career potential? At PRG, we specialize in resumes, cover letters, residency statements, editing & much more! Transform your documents into a powerful tool that gets you noticed! Contact us today @ 813-405-5065 or email resume_guru@outlook.com.
Equip yourself with the skills to stay safe! Register for 2A Rated Training for self-defense training classes. Our NRA-Certified Instructors provide training to help you gain confidence & proficiency to protect yourself & loved ones responsibly. Don’t compromise your safety. Train w/us! Visit 2ARatedTraining.com or Email: info@2ARatedTraining.com to get registered.
RAYSPHOTOGRAPHS LLC! Do you have a special occasion/moment you’d like to capture? Specializing in weddings, engagements, portraits, headshots & events, let me capture the moments that matter most to you! Visit raysphotographs.com for samples. Call/text (813) 380-2655 or email ray@raysphotographs.com. Mention this ad & receive 20% off! Hughes School of Music accepting new students! Study Saxophone, Piano, Music Production, Composition or Theory w/a Master of Music. Zoom sessions also avail.! Contact us at 813-748-3216.
Seeking Housekeeper (one person, not a cleaning service) once a week. Good pay. References required, for a lovely, clean environment inside Saddlebrook. Call 941.445.0719.
FOR SALE: Brand New, Complete Boy Scout Uniforms for Sale. Boys clothes size 10-14, shoes, plus new roller skates & ice skates. Dishes & many household articles. A 10x30 shed full of flea market items, will sell all very reasonable. Cartop carrier, professional bicycles, kayak, doggie furniture, crates feeder & much more. Call 813-297-1456.














