Parcel 176-25-401-014, Clark County, NV

Page 1

DEVELOPER PACKET

CLARK COUNTY, NV

PARCEL 176-25-401-014
Compliments of WFG National Title Insurance Company Customer Service Department

TABLE OF

Property Details

Zoning Information

Custom Maps

Community Information

-Demographics

-Traffic Counts

CONTENT S The information contained is provided by WFG’s Customer Service Department to our customers, and while deemed reliable, is not guaranteed.

PROPERTY

DETAILS

 Property Information

Assessors Tax Map

Vesting Deed

The information contained is provided by WFG’s Customer Service Department to our customers, and while deemed reliable, is not guaranteed.

PropertyDetailReport

Owner:BrianAdams

Site:EnterpriseNV89124

Mail:712S8thStLasVegasNV89101

LocationandSiteInformation

County: Clark LotSqFt: 92,347

LegalDescription: PTSW4SW4SEC252260

APN: 17625401014

LotAcres: 2.12

LandUse: 14.000-Vacant-Commercial

TaxLot: LandUseSTD: VacantLand(nec)

Twn-Rng-Sec: 22S/60E/25/SW

CountyBldgUse: 400

Neighborhood: #Dwellings:

Subdivision: MapPage/Grid:

LegalLot/Block: Zoning: R-E

CensusTract/Block: 005833/1046

ElementarySchool: RiesAldeaneComitoEs

MiddleSchool: TarkanianLois&JerryMs

PropertyCharacteristics

Watershed: DuckCreek-LasVegasWash

HighSchool: DesertOasisHs

SchoolDistrict: ClarkCounty

TotalLivingArea: Bedrooms: YearBuilt/Eff:

FirstFloorSqFt: BathroomsTotal: Heating:

SecondFloorSqFt: BathroomsFull/Half: Cooling:

BasementFin/Unfin: Stories: Fireplace:

AtticFin/Unfin: Foundation: Pool:

GarageSqFt: RoofMaterial: Kitchen:

AssessmentandTaxInformation MarketTotal: $1,485,00000 PropertyTax: $5,33606 MarketLand: $1,485,000.00

SaleandLoanInformation

SaleDate: 05/19/1992

SaleAmount: $90,00000

Document#: 920519000195

Lender: LENDERSELLER

LoanAmount: $60,00000

LoanType: Conventional

Price/SqFt: $000 TitleCo: SellerName:

DeedType: Deed

PreparedBy:WFGNationalTitleCustomerServiceDepartment 12909SW68thPkwy,Suite350,Portland,OR97223

P:5036031700|3608915474E:cs@wfgnationaltitlecom|cccs@wfgtitlecom

SentryDynamics,Inc anditscustomersmakenorepresentation,warrantiesorconditions,expressorimplied, astotheaccuracyorcompletenessofinformationcontainedinthisreport

Exemption: MarketStructure: MarketImproved%: AsssessmentYear: 2023 LevyCode: 635 AssessedTotal: $519,750.00 MillRate: 2.9328

ParcelID:17625401014

SiteAddress: SentryDynamics,Inc anditscustomersmakenorepresentations, warrantiesorconditions,expressorimplied,astotheaccuracyor completenessofinformationcontainedinthisreport

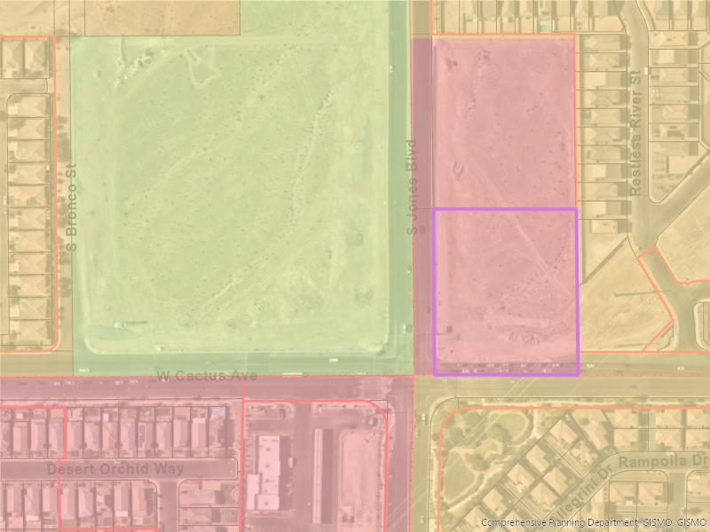
AssessorMap

ParcelID:17625401014

SentryDynamics,Inc anditscustomersmakenorepresentations, warrantiesorconditions,expressorimplied,astotheaccuracyor completenessofinformationcontainedinthisreport

AerialMap

ASSESSOR'SCOPY

ASSESSOR'SCOPY

ASSESSOR'SCOPY

ZONING

DETAILS

 Detailed Zoning Information

R-E (Rural Estates—Residential District)

 Zoning Map

 Community Jurisdiction

The information contained is provided by WFG’s Customer Service Department to our customers, and while deemed reliable, is not guaranteed.

30.40 Zoning Base Districts

30.40.010

General Applicability. This Chapter outlines the purposes, bulk, and intensity requirements for the various zoning base districts. In addition to the standards outlined in this Chapter, all development shall be subject to the requirements included in Chapters 30.52 (Off-Site Development Requirements), 30.56 (Site Development Standards), 30.60 (Parking and Loading Regulations), 30.64 (Site Landscape and Screening Standards), 30.68 (Site Environmental Standards) and, when applicable, to the special requirements and restrictions outlined in Chapter 30.48 (Zoning Overlay Districts). Developments which are to be designed under the planned unit development provisions of this Title shall refer to Chapter 30.24 (Planned Unit Development). (Ord. 3055 § 3 (part), 4/2004)

30.40.020 Permitted Deviations from Bulk and Intensity Requirements. In accordance with the limitations listed below, administrative minor deviations (up to 10% unless otherwise specified) from the development standards listed in the following tables may be approved administratively, in accordance with the procedure outlined in Table 30.16-8. Deviations shall be subject to the following limitations:

1. Rural Residential, Single-Family Residential, and Multi-Family Residential Districts. Deviations from density restrictions, the minimum required setback of 10 feet from any street, and minimum driveway requirements shall not be permitted. In addition, deviations from the minimum lot area shall not be permitted for property within an RNP I, II, or III Overlay District or property designated RNP in the adopted land use plan.

2. Commercial, Industrial and Special Districts. Deviations from the minimum required setback from a street shall not be permitted. Administrative minor deviations for structures over 100 feet in height are not permitted. (Ord. 4770 § 6 (part), 3/2020; Ord. 4102 § 1 (part), 6/2013; Ord. 4077 § 8 (part), 2/2013; Ord. 3549 § 6 (part), 9/2007; Ord. 3432 § 5 (part), 10/2006; Ord. 2741 § 6 (part), 5/2002)

30.40.030 Rural Residential Districts.

a. General Purpose. The Rural Residential Districts set forth herein, are intended to permit a broad range of rural residential development necessary to serve the citizens of Clark County.

b. Standards Applicable to All Rural Residential Districts. All Rural Residential Districts shall comply with the bulk and intensity requirements listed in Table 30.40-1 and, when applicable, to the additional standards and restrictions required for properties located within any overlay district established in Chapter 30.48 (see respective PART).

c. Dwelling Unit Density.

1. The number of dwelling units per gross acre shall not exceed limits as set forth for the various districts, or for any lot or parcel within the district.

2. If a lot or parcel lies within more than 1 district, the density of that portion within each district shall not exceed the density permitted for the district.

3. Variances or waivers of standards to permit additional density shall not be accepted by the Zoning Administrator.

d. Uses Permitted. The uses listed under the column of the respective Rural Residential Districts within Table 30.44-1 (see also Appendix F, uses categorized by zoning district) shall establish the uses permitted within the districts, subject to the conditions listed and to all administrative and special use permit approvals as shown in the Table. (Also see Accessory Commercial Uses in Table 30.44-1) (Ord. 3174 § 4 (part), 1/2005; Ord. 3055 § 3 (part), 4/2004)

Printed Chapter 30.40: Zoning Base Districts March 9, 2020 30.40-1

30.40.040

Purpose of R-U, Rural Open Land District. This district is established to provide for very low density residential use and other appropriate uses of the vast areas of rural land. See Table 30.56-2A for additional design standards and subsection 30.56.060 (b) for provisions regarding special setbacks permitted within Mt. Charleston, Lee Canyon, and Kyle Canyon. (Ord. 4109 § 2 (part), 7/2013; Ord. 3160 § 8 (part), 11/2004; Ord. 3055 § 3 (part), 4/2004)

30.40.050

Purpose of R-A, Residential Agricultural District. This district is established for areas particularly suited for agricultural uses, including residential uses in conjunction with the raising of crops and animals and other agricultural activities. See Table 30.56-2A for additional design standards. (Ord. 4109 § 2 (part), 7/2013; Ord. 3055 § 3 (part), 4/2004)

30.40.060

Purpose of R-E, Rural Estates, Residential District. This district is established for areas particularly suited for low density residential uses and to the raising of crops and of a limited number of animals. See Table 30.56-2A for additional design standards. (Ord. 4109 § 2 (part), 7/2013; Ord. 4102 § 1 (part), 6/2013; Ord. 3757 § 4 (part), 4/2009; Ord. 3160 § 8 (part), 11/2004; Ord. 3106 § 5 (part), 8/2004; Ord. 3055 § 3 (part), 4/2004)

30.40.070

Purpose of R-D, Suburban Estates Residential District. This district is established for use in areas particularly suited to low-density, single-family residential use on lots of 10,000 square feet or more in area. See Table 30.56-2A for additional design standards. (Ord. 4109 § 2 (part), 7/2013; Ord. 3055 § 3 (part), 4/2004)

Printed Chapter 30.40: Zoning Base Districts March 9, 2020 30.40-2

Notes/Additional Requirements

Southern Nevada Health District may further restrict requirements for water and sewage. Landscape and common area lots need not meet minimum area. Administrative minor deviations shall not be permitted for property located within the RNP I or II Overlay District, or property designated RNP in the adopted land use plan.

Lot area less all easements or private streets which restrict construction. The net area for lots adjacent to a collector or arterial street may be reduced by 10%.

See Section 30.52.025 (Sight Zones). Setback measured from property line, except for R-D, which shall be set back from the edge of any private street. Garage openings must be set back a minimum of 20 feet, except for lots on cul-de-sac streets (See 30.56.040 Yards & Setbacks). See Building Code for additional setbacks. In no case shall the minimum setback from a street be less than 10 feet. (See 30.56.040(d)) Front1

Front setback must be open to the sky, void of buildings and courtyard with alternatives as follows:

A. A twelve foot reduction for a maximum 50% of the overall building width (furthest side to furthest side) if:

i. 2 trees are planted adjacent to the street front; or

ii. Decorative features are provided and shown on plans, such as bay windows or stucco pop-outs, and color or texture other than a gray broom finish is added to the driveway.

B. On lots smaller than 80,000 square feet, barns, stalls, arenas, paddocks, corrals, and pens for animals (considered structures) shall only be permitted in the side and rear yards; pastures, turnouts, and exercise areas for animals may be located in the front yard with no additional setback required, provided the requirements for accessory structures and fencing are satisfied (note: fencing materials may include traditional farm fencing (smooth twisted wire mounted on posts) or alternative fencing used for confining domestic animals, provided that all fencing is compatible with the rural character of the immediate area). (See Table 30.44-1).

All windows above the first story shall be opaque, otherwise principal structure setbacks apply. An administrative minor deviation per Table 30.16-8 may be approved to allow transparent windows above the first story to within a 5 foot minimum setback.

Balcony or Deck (Principal or Accessory)

i. No minimum setback for decks.

ii. Setback is measured from the property line to the leading edge of the balcony.

*An administrative minor deviation per Table 30.16-8 may be approved to reduce the setback to a minimum of 5 feet.

from the property line to the leading edge of the patio cover.

A reduction of 5 feet is permitted if a 3 foot wide landscape strip with shrubs is planted outside of the wall and in addition to any other required street landscape strip.

Printed Chapter 30.40: Zoning Base Districts January 7, 2019 30.40-3 Table 30.40-1 Rural Residential Districts - Property Development Standards Bulk Matrix R-U R-A R-E R-D
Dwelling Unit Density (Per Gross Acre) 0.5 1 2 3 Per gross unit Lot Area 80,000 sq. ft. 40,000 sq. ft. 20,000 sq. ft. 10,000 sq. ft.
Net Area 72,000 sq.ft. 36,000 sq.ft. 18,000 sq. ft. 9,000 sq. ft.
Lot Coverage 15% 25% 50% 50% Yard Setback
40 feet2 40 feet 40 feet 30 feet
Interior Side Principal Structure 15 feet2 15 feet 10 feet 10 feet
Structure1 5 feet 5 feet 5 feet 5 feet
Accessory
Balcony 3 to less than 6 feet above grade 3 feet 3 feet 3 feet 3 feet Balcony 6 feet or greater above grade* 12 feet 12 feet 7 feet 7 feet Patio Cover* 12 feet 12 feet 7 feet 7 feet Setback
is measured
Side Street (corner)
Principal Structure 25 feet2 25 feet 15 feet 15 feet Accessory Structure1 10 feet 10 feet 10 feet 10 feet

Notes/Additional Requirements

Setback is measured from the property line to the leading edge of the balcony or patio cover. (No minimum setback for decks)

If the lot has access only from a collector or arterial street, a reduction of 10 feet is permitted.

All windows above the first story shall be opaque, otherwise principal structure setbacks apply. An administrative minor deviation may be approved to allow transparent windows above the first story to within a 5 foot minimum setback.

i. No minimum setback for decks.

ii. Setback is measured from the property line to the leading edge of the balcony.

An administrative minor deviation per Table 30.16-8 may be approved to reduce the setback to a minimum of 5 feet.

i. Setback is measured from the property line to the leading edge of the patio cover.

ii. Setback may be reduced by 5 feet without a land use application for properties not located within an RNP area or RNP overlay district.

iii. For property within an RNP area or RNP overlay district or to further reduce the setback per (ii) above, an administrative minor deviation per Table 30.16-8 may be approved to reduce the setback to a minimum of 5 feet.

Height See Chapter 30.56 for height restrictions for hillside development.

Additional Requirements

1. (a) Accessory buildings shall have a minimum separation of 6 feet from any other building,

(b) Shed setbacks within the side and rear yard may be reduced per Table 30.44-1,

(c) Maximum height of any community building shall be 35 feet. See Tables 30.44-1 and 30.56-2A for design/development standards for accessory uses and structures.

2. Buildings and structures on nonconforming lots of record or within nonconforming subdivisions within the R-U zoning district within Mt. Charleston, Lee Canyon, and Kyle Canyon may be established in conformance with R-1 standards except for the following special setbacks pursuant to Section 30.56.060(b): 15 foot front setback, 5 foot side setback, 15 foot side street corner setback, and 10 foot rear setback; however, a minimum 20 foot driveway or 20 foot setback from a street for garages shall always be maintained (uses permitted shall be those established for the R-U district in Table 30.44-1).

Notes:

A. Architectural intrusions and enclosures may intrude into a required setback up to 3 feet, but shall not be less than 5 feet to a property line, unless in compliance with building code, but in no case shall it be closer than 3 feet. No additional architectural intrusions or enclosures are permitted where the setback is measured to the leading edge of the structure.

B. No structure other than a permitted fence, wall, or accessory structures per 30.56.040(f) shall be located within 10 feet of a street. See 30.56.040(d) for possible additional restrictions.

C. Legal nonconforming R-U zoned lots containing a minimum of 20,000 square feet and less than 80,000 square feet shall conform to the development standards for the R-E district.

D. Property located within an overlay district regulated by Chapter 30.48 is subject to the additional standards and restrictions specified therein. (Ord. 4658 § 9 (part), 1/2019; Ord. 4481 § 8 (part), 5/2017; Ord. 4288 § 3, 5/2015; Ord 4275 § 6 (part), 3/2015; Ord. 4200 § 3 (part), 5/2014; Ord. 4102 § 1 (part), 6/2013; Ord. 4077 § 8 (part), 2/2013; Ord. 3924 § 5 (part), 1/2011; Ord. 3549 § 6 (part), 9/2007; Ord. 3518 § 8 (part), 5/2007; Ord. 3354 § 5 (part), 2/2006; Ord. 3297 § 2 (part), 10/2005; Ord. 3238 § 4 (part), 7/2005; Ord. 3229 § 7 (part), 6/2005; Ord. 3209 § 5, 5/2005; Ord. 3160 § 8 (part), 11/2004; Ord. 3055 § 3 (part), 4/2004; Ord. 3008 § 5 (part), 12//2003; Ord. 2961 § 5, 10/2003; Ord. 2907 § 5 (part), 7/2003; Ord. 2857 § 9 (part), 2/2003; Ord. 2510 § 9 (part), 2000; Ord. 2524 § 1 (part), 2000)

Printed Chapter 30.40: Zoning Base Districts January 7, 2019 30.40-4
R-U R-A R-E R-D
Table 30.40-1 Rural Residential Districts - Property Development
Standards Bulk Matrix
(Principal
10 feet 10 feet 10 feet 10 feet
Rear Principal Structure 50 feet2 50 feet 30 feet 25 feet
Accessory Structure1 5 feet 5 feet 5 feet 5 feet
Balcony or Patio Cover
or Accessory)
Balcony or deck (Principal or Accessory)
Balcony 3 to less than 6 feet above grade 3 feet 3 feet 3 feet 3 feet Balcony 6 feet or greater above grade 47 feet 47 feet 27 feet 22 feet
Patio Cover 17 feet 17 feet 17 feet 12 feet
Principal Structure 35 feet 35 feet 35 feet 35 feet Accessory Structure1 25 feet 25 feet 25 feet 14 feet

30.44 Uses.

30.44.005 General. Unless otherwise specified in Table 30.44-1, all uses must be conducted within a permanent enclosed building.

30.44.010 Uses Allowed in Zoning Districts

a. The uses listed in Table 30.44-1 are subject to the development standards listed in Chapters 30.52 (Off-Site Development Requirements), 30.56 (Site Development Standards), 30.60 (Parking and Loading Regulations), 30.64 (Site Landscape and Screening Standards), and 30.68 (Site Environmental Standards) unless modified by the restrictions of any of the overlay districts in Chapter 30.48 (Zoning Overlay Districts) or by the table.

b. The following categories of uses, conditions and exceptions are identified and listed in Table 30.44-1:

1. Permitted Uses “P”. The use is permitted as a principal use in that zoning district.

2. Accessory Uses “A”. The use is permitted only as an accessory use to the principal use, indicated in Table 30.44-1, within the specified district, but this does not exclude other land uses which are also considered accessory to the principal use, but not listed in Global Use Table. Within the Co-operative Management Agreement Area (See Map in Appendix G), accessory structures and uses shall be permitted on a lot deed restricted by Clark County for nonresidential uses only; where the principal use is established on the adjacent lot and both properties are under the same ownership. The Zoning Administrator shall determine when uses are accessory.

3. Conditional Uses “C”. The use is permitted in the specified districts subject to meeting stated conditions (this may be reviewed with a building permit, business license or design review; a separate land use application is not required). If stated conditions do not apply, the use is a permitted use in that district. All conditional uses require performance measures to mitigate possible negative impacts of the use. These measures are numbered where each conditional use is listed in the Table 30.44-1.

4. Temporary Uses “T”. Temporary uses are permitted in each zoning district subject to the performance conditions listed with an administrative temporary use (T), as provided in Table 30.16-5.

5. Special Uses “S”. The use is permitted as a special use in the listed districts with a special use permit subject to a public hearing process per Table 30.16-4. Some special uses require performance measures to mitigate possible negative impacts of the use when each special use is listed in table 30.44-1.

6. Conditions related to various uses. Most uses require performance conditions to mitigate possible negative impacts of the use. Whenever the applicant cannot or does not desire to comply with a performance condition, relief may only be sought as follows:

A. Accessory Uses, Conditional Uses, Temporary Uses - a special use permit may be requested in order to waive a condition associated with these uses, unless the condition cannot be waived or varied.

B. Special Uses - a waiver of development standards may be requested in addition to the special use permit, in order to waive a condition associated with a special use, unless the condition cannot be waived or varied. Certain conditions, as listed in Table 30.44-1, may be considered to be waived during the public hearing process of the special use permit, without the separate waiver of development standards application.

Printed Chapter 30.44: Uses July 5, 2022 30.44-1

7. Prohibited Uses.

A. Uses not permitted are expressly prohibited; however, nothing in this Title shall be construed to prohibit constitutionally protected activities including the use of a home for noncommercial gatherings of family and friends, discussion groups, religious or political gatherings, or neighborhood meetings.

B. If one of the above letters indicating the category of use is not shown in the zoning district columns in Table 30.44-1 for a corresponding use, then the use is not permitted.

C. Transient commercial use of residential development for remuneration is prohibited in all residential zoning districts, or in any miscellaneous zoning district of this Title, except as otherwise expressly permitted in this Title or as licensed pursuant to Chapter 7.100 of the Clark County Code

D. Storage of commercial vehicle or vehicles constitutes a commercial use of land and is prohibited in residential districts except as otherwise expressly permitted; (See Outside Storage 30.44-1) however, this provision shall not be interpreted to prohibit the parking of a single automobile used for commercial purposes (see regulations for “Home Occupation”).

E. Storage of more than 3 recreational vehicles or travel trailers is prohibited, except as otherwise expressly permitted.

i. The provisions of this Section do not supersede private covenants, deed restrictions, declarations of restrictions and equitable servitudes which impose conditions more restrictive than those imposed by this Section, or which impose restrictions not covered or addressed by this Section.

ii. The right to maintain a legal nonconforming use of storing more than 3 recreational vehicles or travel trailers shall terminate within 1 year from February 16, 2016, after the use became legally nonconforming, subject to the following provisions:

a. If any such legal nonconforming use ceases for any reason for a period of 30 days or more, any subsequent use shall no longer be classified as a legal nonconforming use and shall thereafter conform to the regulations specified in this Section.

b. Nonconforming uses and structures established pursuant to this Section are subject to the regulations concerning nonconforming uses and structures set forth in Chapter 30.76 (Nonconformities) of this Title for the period specified in subsection (7)(E)(ii) above.

F. It is an unlawful prohibited use for any person owning or occupying a developed or otherwise improved parcel of land within unincorporated Clark County to fail to clear such land, within ten days after notice is given to such person by the County, of weeds, grass over 4 inches in height, or any vegetation that is overgrown, dead, dry, diseased, or noxious. (Ord. 4959 § 5 (part), 7/2022; Ord 4368 § 1 (part), 2/2016; Ord 4152 § 6 (part), 12/2013; Ord. 3848 § 7 (part), 2/2010; Ord. 3805 § 4 (part), 9/2009; Ord. 3766 § 2, 6/2009; Ord. 3518 § 9 (part), 5/2007; Ord. 3257 § 3 (part), 7/2005; Ord. 3160 § 9 & 10, 11/2004; Ord. 3113 § 4, 8/2004; Ord. 2573 § 9, 2001)

Printed Chapter 30.44: Uses July 5, 2022 30.44-2

30.44.020

Alternative

It is recognized that individual sites may present unique characteristics, the operation and location of site uses that could be best developed through the application of alternative site development standards which depart from the requirements of this Chapter. In certain circumstances such alternative standards may be considered beneficial by the Commission or Board as a tool to achieve the land development policies of the County. In such cases, the Board or Commission may approve alternative site development standards through the granting of a waiver of standards, according to the procedures outlined in Table 30-16-7 of this Title subject to finding that the alternative standards will:

Standards for Specific Site Development Standards Required With Specific Uses.

1. Result in a development which is as or more compatible with adjacent development than anticipated by the requirements of this Chapter.

2. Encourage a development trend similar to that anticipated by the requirements of this Chapter.

3. Result in a development which meets or exceeds all other requirements of this Title.

4. Encourage the use of appropriate energy efficient design guidelines as specified in Section 30.56.085.

Printed Chapter 30.44: Uses July 5, 2022 30.44-3

Accessory Agricultural Buildings and Structures

(Also see “Accessory Uses and Structures” and “Shed”)

Subject to:

1. Permitted only in conjunction with a permitted principal use or structure, and only when the agricultural use is permitted or has been approved. Certain accessory agricultural buildings and structures may be constructed prior to the principal dwelling, subject to the following conditions:

A. Undeveloped lots shall be under common ownership with a developed single family residential lot. At least one undeveloped lot shall be adjacent to the developed single family residential lot. Thereafter, any other undeveloped lot(s) must be adjacent to and consecutive with each other. No lot under a different ownership shall be located in between any of the common ownership lots.

B. Construction shall be limited to sheds, fences, corrals, or livestock shade structures 1,500 square feet or less (see Clark County Building Administrative Code 22.02.190) and shall not be constructed upon a slab on ground foundation.

C. Habitable buildings shall not be permitted.

NOTE: The area of any lot(s) may be used to determine the allowable number of animals.

2. On lots smaller than 80,000 square feet, shall be located in the side or rear yard.

3. The surface of all floor areas used for housing animals shall be permeable, and only those not used for housing animals (for example, tack rooms, hay storage, hallways, and similar rooms) may be impermeable.

4. In all districts outside of Community District 5, and except for R-U, R-A or R-E, a decorative roof is required when the structure extends more than two feet above an opaque perimeter wall or is otherwise visible from a street.

5. On lots smaller than 80,000 square feet, a maximum of 600 square feet of building per each large animal permitted based on the area of the lot is allowed.

6. The design standards established in Table 30.56-2A do not apply.

7. Conditions #4 and #5 may be waived with an Administrative Minor Deviation application. Also see required development standards in 30.40, 30.48, and 30.56. (Ord. 4288 § 4 (part), 5/2015; Ord 4275 § 7 (part), 3/2015; Ord. 4200 § 4 (part), 5/2014; Ord. 4109 § 3 (part), 7/2013; Ord. 3297 § 3 (part), 10/2005; Ord. 3229 § 8 (part), 6/2005; Ord. 3106 § 6 (part), 8/2004)

A=Accessory Use C=Conditional Use P=Permitted Use S=Special Use Permit T= Administrative Temporary Use Permit Note: If box is empty, use is prohibited 30.44-4
Uses SLUCM CODE Residential Districts Commercial Districts Manufacturing/ Industrial Districts Miscellaneous Districts R-U R-A RE R-D R-1 R-T R-2 RUD R-3 R-4 R-5 CRT C-P C-1 C-2 M-D M-1 M-2 O-S H-2 P-F RVP U-V H-1
Table
30.44-1 Global Use Table
A
A A A A A

(Also

Accessory Use Subject to:

1. Permitted only in conjunction with a single family residence (principal use).

2. The minimum lot size required shall be the minimum lot size established per zoning base district standards unless reduced by approval of a planned unit development (PUD) in conformance with Chapter 30.24; however, in no case shall the minimum lot size be less than 4,000 net square feet, not including private street easements. This condition shall not be waived.

3. In non-rural residential districts, the total area shall not exceed 40% of the principal dwelling’s area not including garages, overhangs, patio covers, or similar structures; or 1,000 square feet, whichever is less. For all CD-5 districts, see Condition 4 below. This condition shall not be waived.

4. In rural residential districts, or when located within CD-5, the total area shall not exceed 1,500 square feet unless increased with special use permit approval.

5. In the R-T district, accessory apartments, casitas or guest quarters shall only be permitted on subdivided lots (not permitted in manufactured home parks). This condition shall not be waived.

6. Only 1 accessory apartment, casita, guest quarters or temporary living quarters per lot shall be permitted.

7. One additional parking space shall be provided. This condition shall not be waived.

8 Shall have architectural features compatible with the principal building that must include compatible decorative exteriors, colors, and building materials.

9 Recreational vehicles shall not be permitted as accessory apartments, casitas or guest quarters.

10 Front or side yard access shall not face the street unless screened from view.

11. Unless located in the rear yard, a separate garage in the non-rural residential districts may only be permitted as follows:

A. Vehicular entrance shall not face the street, and any walls visible from the street shall have windows and architectural features that match (or complement) the principal residential structure to make the garage look like a habitable component of the principal residence; or

B. Shall share a common wall with the garage for the principal residence.

Conditions Applicable for Accessory Apartment:

1. A special use permit is necessary to allow an accessory apartment prior to the principal dwelling and the following conditions apply:

A. Shall only be permitted in the rural residential zoning districts. (This condition cannot be waived or varied)

B. Maximum area of 800 square feet.

C. Must meet all principal structure setbacks. (This condition cannot be waived or varied)

D. All areas within the minimum front setback for principal structures shall be landscaped.

E. Additional accessory structures shall not be constructed prior to construction of the principal residence.

F. Shall not be rented or leased until the principal residence is occupied by the property owner.

2. The principal dwelling or accessory apartment shall be occupied by the permanent or principal owner of the lot.

3. Manufactured homes may be allowed as accessory apartments only subject to approval of an administrative minor deviation. The manufactured home must be set at grade and conform to the design standards required for single family dwellings, excluding the minimum area standard.

Continued on next page

A=Accessory Use C=Conditional Use P=Permitted Use S=Special Use Permit T= Administrative Temporary Use Permit Note: If box is empty, use is prohibited 30.44-5 Table 30.44-1 Global Use Table Uses SLUCM CODE Residential Districts Commercial Districts Manufacturing/ Industrial Districts Miscellaneous Districts R-U R-A RE R-D R-1 R-T R-2 RUD R-3 R-4 R-5 CRT C-P C-1 C-2 M-D M-1 M-2 O-S H-2 P-F RVP U-V H-1
Apartment, Casita or Guest Quarters
Accessory
see “Temporary Living Quarters”) 1900 A A A A A A A A A A A

(Also see “Temporary Living Quarters”)

Continued from previous page

4. The property owner shall execute and record a deed restriction against the property that lists and acknowledges the use conditions herein established for an accessory apartment. A copy of the recorded deed restriction shall be submitted with plans prior to building permit issuance. This condition shall not be waived.

NOTES:

• Existing utility hook-ups should be utilized whenever possible. Shall comply with all other agency requirements, including but not limited to health, sanitation, water, fire, and building regulations (See Section 30.52.100 for water restrictions). Compliance with the conditions herein listed shall not ensure approvals required from other agencies.

• Applicable design and development standards within Chapters 30.40 and 30.56 required. Approval of a waiver of development standards per Table 30.16-7 is required to modify such standards.

(Ord. 4770 § 7 (part), 3/2020; Ord. 4559 § 8 (part), 1/2018; Ord. 4356 § 1, 12/2015; Ord. 4200 § 4 (part), 5/2014; Ord. 4077 § 9 (part), 2/2013;Ord. 3924 § 6 (part), 1/2011; Ord 3688 § 7 (part), 10/2008; Ord. 3472 § 7 (part), 1/2007; Ord. 3433 § 2 (part), 10/2006; Ord. 3238 § 5 (part), 7/2005)

A=Accessory Use C=Conditional Use P=Permitted Use S=Special Use Permit T= Administrative Temporary Use Permit Note: If box is empty, use is prohibited 30.44-5a Table
Uses SLUCM CODE Residential Districts Commercial Districts Manufacturing/ Industrial Districts Miscellaneous Districts R-U R-A RE R-D R-1 R-T R-2 RUD R-3 R-4 R-5 CRT C-P C-1 C-2 M-D M-1 M-2 O-S H-2 P-F RVP U-V H-1 Accessory Apartment, Casita or Guest Quarters
30.44-1 Global Use Table
1900 A A A A A A A A A A A

1. Uses must be specified in the special use permit application.

2. Must be in conjunction with a residential development or a recreational vehicle park.

3. Uses should be designed to serve the immediate residents and guests only and minimize any impact on surrounding areas.

4. Location.

A. Within building or floor of development which is used for recreational purposes or property management offices.

B. Shown on the submitted plans as common or recreation area.

5. Floor Area.

A. Maximum 1,200 square feet for project of 200 or fewer residential units, plus an additional 1,200 square feet for every 200 units thereafter.

B. Maximum 2,400 square feet per residential development or recreational vehicle park.

6. No exterior signs.

7. No exterior lighting in excess of what exists or is suitable for the residential development.

8. Hours of operation and delivery - 6 a.m. to 10 p.m.

9. Minimum of 3 of the required parking spaces for the development shall be located within close proximity of the commercial use, 1 of which shall be designated for mobility impaired persons.

10. Business license will be issued after 100 residential dwelling units, or 100 spaces within a recreational vehicle park, have been constructed.

11. Daycare centers included with “Accessory Commercial” shall provide service to the residents or business employees only (not be open to the general public) and are not required to be located adjacent to and accessed from a collector or arterial street in order to have more than 12 children or adults.

12. Beer, wine, liquor, or tobacco sales, and any type of gaming, reflexology or massage establishment (even if incidental to a beauty salon) are prohibited.

These conditions cannot be waived or varied.

NOTE: Principal use shall determine landscaping and screening requirements in Chapter 30.64.

(Ord. 4429 § 2 (part), 10/2016; Ord. 4194 § 3 (part), 4/2014; Ord. 4077 § 9 (part), 2/2013; Ord. 3174 § 6 (part), 1/2005; Ord. 2907 § 6 (part), 7/2003; Ord. 2834 § 1, 12/2002)

A=Accessory Use C=Conditional Use P=Permitted Use S=Special Use Permit T= Administrative Temporary Use Permit Note: If box is empty, use is prohibited
Table
Uses SLUCM CODE Residential Districts Commercial Districts Manufacturing/ Industrial Districts Miscellaneous Districts R-U R-A RE R-D R-1 R-T R-2 RUD R-3 R-4 R-5 CRT C-P C-1 C-2 M-D M-1 M-2 O-S H-2 P-F RVP U-V H-1 Accessory Commercial Uses (Residential only) 1110 1115 5300 5400 5800 5900 6200 6300 6800 S S S S S S S S S S S S S S Special Use:
30.44-5b
30.44-1 Global Use Table

Accessory Uses and Structures

(Also see “Accessory Agricultural Building” and “Shed”)

Subject to:

1. Permitted only in conjunction with a permitted principal use or structure.

2. Any accessory structure, except for those used for renewable energy, or those used for electric charging, within the front yard shall have architectural features compatible with the principal building that must include compatible decorative exteriors, colors, and building materials.

3. Any structure, except as described in the note below, within the side or rear yard visible from any street or residential development within the urban area must be architecturally compatible with the principal building.

4. Unless located within Community District 5 (CD5), an accessory building on a single family residential lot shall not exceed ½ the footprint, nor shall the cumulative area of all accessory buildings exceed the footprint of the principal dwelling (principal building footprint does not include overhangs, patio covers, or similar structures). See separate regulations for agricultural accessory buildings, accessory apartments, temporary living quarters.

Notes

• Structures within the side or rear yard which do not extend more than 2 feet above an opaque building, fence or wall, as well as aircraft hangers, ornamental buildings such as gazebos or shade structures, or those used for renewable energy, or those used for electric charging are not required to be architecturally compatible with the principal building nor to meet the design standards established in Tables 30-56-2 and 30.56-2A.

• Conditions #3 and #4 may be waived with an Administrative Minor Deviation application.

• Any membrane structure must be maintained and is subject to all applicable codes as well as requirements within 30.56.

• Decorative architectural features such as but not limited to covered entryways, gazebos or detached patio covers, are permitted within a courtyard (area enclosed on 2 sides by walls of the principal dwelling) without meeting accessory structure height and separation requirements (principal structure development standards apply).

• See additional design and development standards within Chapters 30.40 and 30.56. Applicable design standards established in Tables 30.56-2 and 30.56-2A may be waived subject to approval of a special use permit or administrative minor deviation application. When located in CD5, conformance to Tables 30.56-2 and 30.56-2A is not required.

(Ord. 4559 § 8 (part), 1/2018; Ord. 4200 § 4 (part), 5/2014; Ord. 4109 § 3 (part), 7/2013; Ord. 4010 § 3 (part), 4/2012;Ord. 3757 § 5 (part), 4/2009; Ord. 3549 § 7 (part), 9/2007; Ord. 3518 § 9 (part), 5/2007; Ord. 3472 § 7 (part), 1/2007; Ord. 3397 § 6 (part), 6/2006; Ord. 3297 § 3 (part), 10/2005; Ord. 3238 § 5 (part), 7/2005; Ord. 3106 § 6 (part), 8/2004; Ord. 3055 § 4 (part), 4/2004; Ord. 2961 § 6 (part), 10/2003; Ord. 2907 § 6 (part), 7/2003; Ord. 2857 § 10 (part), 2/2003; Ord. 2741 § 7 (part), 5/2002)

A=Accessory Use C=Conditional Use P=Permitted Use S=Special Use Permit T= Administrative Temporary Use Permit Note: If box is empty, use is prohibited 30.44-6 Table 30.44-1 Global
Uses SLUCM CODE Residential Districts Commercial Districts Manufacturing/ Industrial Districts Miscellaneous Districts R-U R-A RE R-D R-1 R-T R-2 RUD R-3 R-4 R-5 CRT C-P C-1 C-2 M-D M-1 M-2 O-S H-2 P-F RVP U-V H-1
Use Table
A A A A A A A A A A A A A A A A A A A A A A A A

Conditional Use Subject to an Administrative Design Review Application:

1. Must be located within the Adult Use Overlay District as described in Section 30.48.530 and as shown on Map #13 in Appendix G

2. Must comply with all requirements listed in Chapter 30.48 Part H (Adult Use Overlay) and Section 30.76.080 (Nonconforming Adult Uses).

3. Adult uses shall only be approved within an existing or approved structure and shall not be visible from the exterior of the structure upon which construction has commenced.

4. Massage or reflexology is not permitted in conjunction with Adult Uses. These conditions shall not be waived or varied. (Ord. 4658 § 10 (part), 1/2019; Ord. 4194 § 3 (part), 4/2014; Ord. 3645 § 1 (part), 6/2008; Ord. 2899 § 4, 5/2003) Agriculture

1110 1115 C C C C C C

Conditional Use:

1. Must be within Community District 5.

2. The animal care project must be sponsored and monitored by a national multi-membership animal husbandry society that provides participants with direction and guidance in the raising of animals and an opportunity to exhibit the animals at the end of the project.

3. Lots 10, 000 square feet or larger – 2 domesticated animals per household (See “Agriculture - Livestock”), including hog/pig, is permitted together with its young under the age of 1 year.

4. Lots less than 10, 000 square feet - 2 domesticated animals per household (See “Agriculture - Livestock”), including hog/pig, is permitted together with its young, but no individual animal or its young shall be kept for a period of more than 6 months. Animals are permitted outside.

Registered and operable animal trailers may be stored on site. (Ord. 3766 § 3 (part), 6/2009; Ord. 3432 § 6 (part), 10/2006) Agriculture - Apiaries 1110 C C C

Conditional Use:

1. Must be accessory to residential principal use.

2. 400 foot minimum setback from any other apiary unless written consent from owner is obtained.

3. 400 foot minimum setback from any existing dwelling on another property unless written consent from owner is obtained.

4. 50 foot minimum setback from apiary to any property line.

5. 150 foot minimum setback from apiary to any street. Apiaries are permitted outside.

Registered and operable animal trailers may be stored on site. (Ord. 3766 § 3 (part), 6/2009; Ord. 3432 § 6 (part), 10/2006; Ord. 2741 § 7 (part), 5/2002)

A=Accessory Use C=Conditional Use P=Permitted Use S=Special Use Permit T= Administrative Temporary Use Permit Note: If box is empty, use is prohibited 30.44-6a Table 30.44-1 Global
Table Uses SLUCM CODE Residential Districts Commercial Districts Manufacturing/ Industrial Districts Miscellaneous Districts R-U R-A RE R-D R-1 R-T R-2 RUD R-3 R-4 R-5 CRT C-P C-1 C-2 M-D M-1 M-2 O-S H-2 P-F RVP U-V H-1 Acupuncture (Also see “Office (Medical)”) 6510 Adult Uses 5900 5800 C
Use
- Animal Care Project

Conditional Use in Residential Zoning Districts Subject to:

1. A. In R-A and R-U: Aquaculture is permitted as a principal or accessory use.

B. In all other residential zoning districts: Aquaculture is permitted as a principal use in Community District 5, and permitted in conjunction with a principal use when located outside of Community District 5. (A special use permit may be requested for Aquaculture as a principal use outside of Community District 5).

2. Sales of aquaculture are permitted.

3. Customers are permitted to the site.

A. For residential zoning districts located outside Community District 5, approval of a Zoning Compliance application per Table 30.16-17.5 including letters of consent from property owners within a 300 foot radius is required.

B. Adequate off-street parking shall be demonstrated with dust control measures per Clark County Air Quality Control regulations.

4. Use is not permitted outside.

5. Processing is not allowed on-site. Flash freezing or similar preparation is allowed. Conditional Use in all other Zoning Districts:

1. Use is not permitted outside.

2 Processing is not allowed on-site. Flash freezing or similar preparation is allowed.

NOTES:

All other agency (SNHD, FDA, etc.) regulations must be met. When “Aquaculture” is the principal use, zoning district category determines the fence and wall requirements in Chapter 30.64. (Ord. 4658 § 10 (part), 1/2019)

Conditional Use in R-U, R-A, R-E:

1. Must be accessory to residential principal use.

2. Maximum of 20 birds.

3. Birds shall not be released when located within the specified distances from the air operations area of the following airports or Air Force Bases: (this condition cannot be waived or varied)

a. 5 miles for Harry Reid International Airport, Nellis Air Force Base, Creech Air Force Base, North Las Vegas Airport or Henderson Executive Airport;

b. 10,000 feet for Jean Airport; or,

c. 5,000 feet for Overton Airport or any other airport.

See Appendix G – Maps #21 A-G. Aviaries are permitted outside.

Special Use in R-D, R-1, R-T, R-2:

1. Must be accessory to residential principal use.

2. Maximum of 20 birds.

3. Birds shall not be released when located within the specified distances from the air operations area of the following airports or Air Force Bases: (this condition cannot be waived or varied)

a. 5 miles for Harry Reid International Airport, Nellis Air Force Base, Creech Air Force Base, North Las Vegas Airport or Henderson Executive Airport;

b. 10,000 feet for Jean Airport; or,

c. 5,000 feet for Overton Airport or any other airport.

See Appendix G – Maps #21 A-G.

Unless located within a restricted area per condition (3) above, aviaries may be permitted outside if approved with the special use permit.

Registered and operable animal trailers may be stored on site. (Ord 4908 § 13, 1/2022; Ord. 4203 § 2, 6/2014; Ord. 3766 § 3 (part), 6/2009; Ord. 3432 § 6 (part), 10/2006; Ord. 3160 § 11 (part), 11/2004; Ord. 2741 § 7 (part), 5/2002)

A=Accessory Use C=Conditional Use P=Permitted Use S=Special Use Permit T= Administrative Temporary Use Permit Note: If box is empty, use is prohibited 30.44-6b Table
Uses SLUCM CODE Residential Districts Commercial Districts Manufacturing/ Industrial Districts Miscellaneous Districts R-U R-A RE R-D R-1 R-T R-2 RUD R-3 R-4 R-5 CRT C-P C-1 C-2 M-D M-1 M-2 O-S H-2 P-F RVP U-V H-1 Agriculture - Aquaculture 8190 1110 1115 C C C C C C C C C C C C C C C C C C C C C C C C
30.44-1 Global Use Table
Agriculture - Aviaries 1110 1115 C C C S S S S

Conditional Use:

1. Structures such as sheds, shade structures, and barns are allowed provided:

A. Regulations per Chapter 30.40 for accessory structures are met.

B. Design standards in Chapter 30.56 do not apply to structures within R-U, R-A or R-E. For all other districts located outside of Community District 5, a decorative roof is required when the structure extends more than 2’ above a perimeter wall or is otherwise visible from a street.

2. A maximum of 2 medium animals (Agriculture-Livestock, Medium) are permitted.

3. Only incidental sales of crops grown on site are permitted. (Produce must be sold on the site on which it was grown).

4. Customers are permitted to the site with the approval of a Zoning Compliance application per Table 30.16-17.5 including letters of consent from property owners within a 300-foot radius.

5. Boarding Stable signage is permitted per Chapter 30.72 and may only contain the name, address, or phone number for contact person.

6. Adequate off-street parking shall be demonstrated with dust control measures per Clark County Air Quality Control regulations.

7. The use is permitted on vacant or developed property.

NOTE: All other agency (SNHD, FDA, etc) regulations must be met. Zoning district category determines the fence and wall requirements in Chapter 30.64.

(Ord. 3993 § 3 (part), 12/2011)

A=Accessory Use C=Conditional Use P=Permitted Use S=Special Use Permit T= Administrative Temporary Use Permit Note: If box is empty, use is prohibited
Table 30.44-1 Global
Table Uses SLUCM CODE Residential Districts Commercial Districts Manufacturing/ Industrial Districts Miscellaneous Districts R-U R-A RE R-D R-1 R-T R-2 RUD R-3 R-4 R-5 CRT C-P C-1 C-2 M-D M-1 M-2 O-S H-2 P-F RVP U-V H-1 Agriculture – Community Garden 8190 C C C C C C C C C C C C C C C C C C C C C C C
30.44-7
Use

Conditional Use in Residential Zoning Districts Subject to:

1. A. In R-A and R-U: Gardening/Greenhouse is permitted as a principal or accessory use.

B. In all other residential zoning districts: Gardening/Greenhouse is permitted as a principal use in Community District 5, and permitted in conjunction with a principal use when located outside of Community District 5. (A special use permit may be requested for Gardening/Greenhouse as a principal use outside of Community District 5).

2. Sales of produce/crops grown on site are permitted.

3. Customers are permitted to the site.

A. For residential zoning districts located outside Community District 5, approval of a Zoning Compliance application per Table 30.16-17.5 including letters of consent from property owners within a 300-foot radius is required.

B. Adequate off-street parking shall be demonstrated with dust control measures per Clark County Air Quality Control regulations.

4. Boarding Stable signage is permitted per chapter 30.72 and may only contain the name, address, or phone number for contact person.

5. Structures such as sheds, shade structures, and barns are allowed provided:

A. Regulations per Chapter 30.40 for accessory structures are met.

Conditional Use in M-D and M-1 Subject to:

1. Wholesale only.

Conditional Use in all other Zoning Districts:

1. No customers are permitted to the site.

2. No advertising for the agricultural use.

NOTES: All other agency (SNHD, FDA, etc) regulations must be met.

When “Agriculture-Gardening/Greenhouse” is the principal use, zoning district category determines the fence and wall requirements in Chapter 30.64.

Use is permitted outside.

The design standards established in Table 30.56-2A do not apply. (Ord. 4658 § 10 (part), 1/2019; Ord 4275 § 7 (part), 3/2015; Ord. 3993 § 3 (part), 12/2011; Ord. 2741 § 7 (part), 5/2002) Agriculture - Hogs/Pigs

(Also see “Agriculture - Animal Care Project”)

(Ord.4360 § 2, 1/2016; Ord. 3766 § 3 (part), 6/2009; Ord. 3432 § 6 (part), 10/2006; Ord. 2741 § 7 (part), 5/2002)

8160

1110 C C C C C C A

Conditional Use in R-U and R-A:

1. Must be within Community District 5. (This condition cannot be waived or varied.)

2. One per 20,000 square feet of lot area not to exceed 2 animals.

Conditional Use in R-U, R-A, R-E, R-D, R-1 and R-T must be in conjunction with an Agriculture – Animal Care Project. (This condition cannot be waived or varied.)

Accessory Use in M-2 must be in conjunction with a Food Scrap Management Program incidental to a sanitary landfill. (This condition cannot be waived or varied.)

Hogs/pigs are permitted outside.

Registered and operable animal trailers may be stored on site.

A=Accessory Use C=Conditional Use P=Permitted Use S=Special Use Permit T= Administrative Temporary Use Permit Note: If box is empty, use is prohibited 30.44-8 Table 30.44-1 Global Use Table Uses SLUCM CODE Residential Districts Commercial Districts Manufacturing/ Industrial Districts Miscellaneous Districts R-U R-A RE R-D R-1 R-T R-2 RUD R-3 R-4 R-5 CRT C-P C-1 C-2 M-D M-1 M-2 O-S H-2 P-F RVP U-V H-1 AgricultureGardening/Greenhouse 8190 1110 1115 C C C C C C C C C C C C C C C C C S C C C C C C

Conditional Use in

1. For lots 80,000 square feet or less: Maximum of 200 animals per property.

2. If lot is greater than 80,000 square feet: No limit on number of animals – does not include hogs/pigs, or dairy farm.

3. Raising and selling livestock is permitted.

4. Customers are permitted to the site.

5. Boarding Stable signage is permitted per Chapter 30.72 and may only contain the name, address, or phone number for contact person.

6. No on-premises pelting.

Conditional Use in R-U and R-E:

1. If located in R-E and outside of Community District 5 must be in conjunction with a residential principal use. (May be principal use in R-U).

2. A. R-U – maximum of 100 animals. When located within Community District 5 – 200 animals if located on a lot 80,000 square feet or less; there is no limit on the number of animals for lots greater than 80,000 square feet.

B. R-E – maximum of 20 animals. There is no limit on the number of animals when located within Community District 5 on lots greater than 80,000 square feet.

Maximum number shall not include more than 3 roosters over 3 months old. When located within Community District 5, 5 roosters per breed over 3 months old are permitted with a maximum of 20 roosters.

3. Raising and selling livestock is permitted.

4. Customers are permitted to the site:

A. If located outside Community District 5, subject to the following:

i. Lot must be a minimum of 80,000 square feet.

ii. Approval of a Zoning Compliance application per Table 30.16-17.5 including letters of consent from property owners within a 300-foot radius is required.

B. Boarding Stable is permitted per Chapter 30.72 and may only contain the name, address, or phone number for contact person.

5. No on-premises pelting. (Continued)

A=Accessory Use C=Conditional Use P=Permitted Use S=Special Use Permit T= Administrative Temporary Use Permit Note: If box is empty, use is prohibited
Table 30.44-1 Global Use Table Uses SLUCM CODE Residential Districts Commercial Districts Manufacturing/ Industrial Districts Miscellaneous Districts R-U R-A RE R-D R-1 R-T R-2 RUD R-3 R-4 R-5 CRT C-P C-1 C-2 M-D M-1 M-2 O-S H-2 P-F RVP U-V H-1 Agriculture - Livestock, Small 1110 8160 C C C C C C C C S
30.44-9
R-A:

(Continued from Previous Page)

Conditional Use in R-D, R-1, and R-T:

1. Must be in conjunction with a residential principal use.

2. Must be within Community District 5.

3. Minimum 10,000 square foot lot size.

4. Maximum of 10 animals per property, which may be no more than 5 roosters per breed.

5. Raising and selling livestock is permitted.

6. Customers are permitted to the site subject to:

A. Lot must be a minimum of 80,000 square feet.

B. Boarding Stable signage is permitted per Chapter 30.72 and may only contain the name, address, or phone for contact person.

7. No on-premises pelting.

Conditional Use in M-D, M-1 and Special Use in M-2 subject to: Raising and keeping of livestock must be indoors.

NOTES:

When “Agriculture-Livestock, Small” is the principal use, zoning district category determines the fence and wall requirements in Chapter 30.64.

Animals are permitted outside.

Registered and operable livestock trailers may be stored on site. See also “Accessory Agricultural Buildings and Structures”. See Title 10 of Clark County Code for regulations regarding care/treatment and protection, including shelter, for animals.

(Ord. 4658 § 10 (part), 1/2019; Ord. 4288 § 4 (part), 5/2015; Ord 4275 § 7 (part), 3/2015; Ord. 3993 § 3 (part), 12/2011;Ord. 3766 § 3 (part), 6/2009; Ord. 3432 § 6 (part), 10/2006; Ord. 2741 § 7 (part), 5/2002)

A=Accessory Use C=Conditional Use P=Permitted Use S=Special Use Permit T= Administrative Temporary Use Permit
If box is empty, use is prohibited
Table
Uses SLUCM CODE Residential Districts Commercial Districts Manufacturing/ Industrial Districts Miscellaneous Districts R-U R-A RE R-D R-1 R-T R-2 RUD R-3 R-4 R-5 CRT C-P C-1 C-2 M-D M-1 M-2 O-S H-2 P-F RVP U-V H-1 Agriculture-Livestock, Small 1110 8160 C C C C C C C C S
Note:
30.44-10
30.44-1 Global Use Table

Agriculture - Livestock, Medium* 1110

8160 C C C C C C

Conditional Use in R-A:

1. Outside Community District 5, 2 medium animals per 10,000 square feet of lot area, not to exceed a maximum of 25 animals.

2. If located within Community District 5 the following limits apply, subject to conditions #3, #6, #7, and #8 for Commercial Boarding Stables:

For lots 80,000 square feet and less – 200 animals

For lots greater than 80,000 square feet but less than 200,000 square feet – 400 animals.

For lots 200,000 square feet and greater – unlimited number.

3. Minimum 120 square feet of stall or pen area shall be provided for every 2 animals.

4. Raising and selling livestock is permitted.

5. Customers are permitted to the site.

6. Boarding Stable signage is permitted per Chapter 30.72 and may only contain the name, address, or phone number for contact person.

Conditional Use in R-U and R-E:

1. If located in R-E and outside Community District 5, must be in conjunction with a residential principal use. (May be principal use in R-U).

2. Outside of Community District 5, 2 medium animals per 10,000 square feet of lot area, not to exceed a maximum of 25 animals.

3. If located within Community District 5 the following limits apply, subject to conditions #3, #6, #7 and #8 for Commercial Boarding Stables.

For lots 80,000 square feet and less – 200 animals.

For lots greater than 80,000 square feet but less than 200,000 square feet – 400 animals.

For lots 200,000 square feet and greater – unlimited number.

4. Minimum 120 square feet of stall or pen area shall be provided for every 2 animals.

5. Raising and selling of livestock is permitted.

6. Customers are permitted to the site.

A. If located outside Community District 5, subject to the following:

i. Lot must be a minimum of 80,000 square feet.

ii. Approval of a Zoning Compliance application per Table 30.16-17.5 including letters of consent from property owners within a 300-foot radius is required.

B. Boarding Stable signage is permitted per Chapter 30.72 and may only contain the name, address, or phone number for contact person.

(Continued)

A=Accessory Use C=Conditional Use P=Permitted Use S=Special Use Permit T= Administrative Temporary Use Permit Note: If box is empty, use is prohibited
Table 30.44-1 Global
Uses SLUCM CODE Residential Districts Commercial Districts Manufacturing/ Industrial Districts Miscellaneous Districts R-U R-A RE R-D R-1 R-T R-2 RUD R-3 R-4 R-5 CRT C-P C-1 C-2 M-D M-1 M-2 O-S H-2 P-F RVP U-V H-1
30.44-11
Use Table

(Continued from previous page)

Conditional Use in R-D, R-1 and R-T:

1. Must be in conjunction with a residential principal use.

2. Permitted only in Community District 5.

3. Minimum lot size of 10,000 square feet.

4. 2 medium animals per 10,000 square feet of lot area, not to exceed a maximum of 25 animals.

5. Minimum 120 square feet of stall or pen area shall be provided for every 2 animals.

6. Subject to conditions #3, #6, #7, and #8 for Commercial Boarding Stables.

7. Raising and selling of livestock is permitted.

8. Customers are permitted to the site subject to:

A. Lot must be a minimum of 80,000 square feet.

B. Boarding Stable signage is permitted per Chapter 30.72 and may only contain the name, address, or phone number for contact person.

NOTES:

When “Agriculture-Livestock, Medium” is the principal use, zoning district category determines the fence and wall requirements in Chapter 30.64.

*When calculating the permitted total of animals, one large animal may be substituted for two medium animals. Registered and operable livestock trailers may be stored on site. Animals are permitted outside. Does not include a dairy farm or hogs/pigs.

See “Accessory Agricultural Buildings and Structures”.

See Title 10 of Clark County Code for regulations regarding care/treatment and protection, including shelter, for animals.

(Ord. 4658 § 10 (part), 1/2019; Ord. 4288 § 4 (part), 5/2015; Ord. 3993 § 3 (part), 12/2011; Ord. 3766 § 3 (part), 6/2009; Ord. 3432 § 6 (part), 10/2006; Ord. 2907 § 6 (part), 7/2003; Ord. 2741 § 7 (part), 5/2002)

A=Accessory Use C=Conditional Use P=Permitted Use
Use Permit
Administrative Temporary Use Permit
If box is empty, use is prohibited
Livestock,
1110
C
S=Special
T=
Note:
30.44-11a Agriculture -
Medium*
8160
C C C C C
Uses SLUCM CODE Residential Districts Commercial Districts Manufacturing/ Industrial Districts Miscellaneous Districts R-U R-A RE R-D R-1 R-T R-2 RUD R-3 R-4 R-5 CRT C-P C-1 C-2 M-D M-1 M-2 O-S H-2 P-F RVP U-V H-1
Table 30.44-1 Global Use Table

Agriculture - Livestock, Large* (Does not include Boarding Stables) 8160 1110 C C C C C C

Conditional Use in R-A:

1. If located outside Community District 5:

A. Must have a minimum lot size of 10,000 square feet. An administrative minor deviation may be approved to reduce the lot size to 9,000 square feet. A waiver of development standards must be approved by the Board to further reduce the lot size.

B. 1 large animal per 7,500 square feet of lot area, not to exceed a maximum of 25 animals.

2. If located within Community District 5:

A. For lots 80,000 square feet and less – 1 animal per 4000 square feet.

B. For lots greater than 80,000 square feet but less than 160,000 square feet – 200 animals.

C. For lots 160,000 square feet but less than 200,000 square feet – 400 animals.

D. For lots 200,000 square feet and greater – unlimited number.

3. 120 square feet of stall or pen area shall be provided for each animal.

4. Subject to conditions #3, #6, #7, and #8 for Commercial Boarding Stables.

5. Raising and selling livestock is permitted.

6. Customers are permitted to the site.

7. Boarding Stable signage is permitted per Chapter 30.72 and may only contain the name, address, or phone number for contact person.

Conditional Use in R-U and R-E:

1. If located in R-E and outside Community District 5, must be in conjunction with a residential principal use. (May be principal use in R-U).

2. If located outside of Community District 5:

A. Must have a minimum lot size of 10,000 square feet. An administrative minor deviation may be approved to reduce the lot size to 9,000 square feet. A waiver of development standards must be approved by the Board to further reduce the lot size.

B. 1 large animal per 7,500 square feet of lot area, not to exceed a maximum of 25 animals.

3. If located within Community District 5:

A. For lots 80,000 square feet and less – 1 animal per 4000 square feet.

B. For lots greater than 80,000 square feet but less than 160,000 square feet – 200 animals.

C. For lots 160,000 square feet but less than 200,000 square feet – 400 animals.

D. For lots 200,000 square feet and greater – unlimited number.

4. Subject to conditions #3, #6, #7, and #8 for Commercial Boarding Stables. (Continued)

A=Accessory Use C=Conditional Use P=Permitted Use S=Special Use Permit T= Administrative Temporary Use Permit Note: If box is empty, use is prohibited
Table
Uses SLUCM CODE Residential Districts Commercial Districts Manufacturing/ Industrial Districts Miscellaneous Districts R-U R-A RE R-D R-1 R-T R-2 RUD R-3 R-4 R-5 CRT C-P C-1 C-2 M-D M-1 M-2 O-S H-2 P-F RVP U-V H-1
30.44-11b
30.44-1 Global Use Table

Agriculture - Livestock, Large* (Does not include Boarding Stables) 8160 1110

C C C C C C

(Continued from previous page)

5. 120 square feet of stall or pen area shall be provided for every each animal.

6. Raising and selling of livestock is permitted.

7. Customers are permitted to the site.

A. If located outside Community District 5, subject to the following:

i. Lot must be a minimum of 80,000 square feet.

ii. Approval of a Zoning Compliance application per Table 30.16-17.5 including letters of consent from property owners within a 300-foot radius is required.

B. Boarding Stable signage is permitted per Chapter 30.72 and may only contain the name, address, or phone number for contact person.

Conditional Use in R-D, R-1 and R-T:

1. Must be in conjunction with a residential principal use.

2. Permitted only in Community District 5.

3. Minimum lot size of 10,000 square feet. An administrative minor deviation may be approved to reduce the lot size to 9,000 square feet. A waiver of development standards must be approved by the Board to further reduce the lot size.

4. 1 large animal per 7,500 square feet of lot area, not to exceed a maximum of 25 animals.

5. Subject to conditions #3, #6, #7, and #8 for Commercial Boarding Stables.

6. 120 square feet of stall or pen area shall be provided for each animal.

7. Raising and selling of livestock is permitted.

8 Customers are permitted to the site subject to:

A. Lot must be a minimum of 80,000 square feet.

B. Boarding Stable signage is permitted per Chapter 30.72 and may only contain the name, address, or phone number for contact person.

NOTES:

When “Agriculture-Livestock, Large” is the principal use, zoning district category determines the fence and wall requirements in Chapter 30.64.

*When calculating the permitted total of animals, one large animal may be substituted for two medium animals. Registered and operable livestock trailers may be stored on site. Animals are permitted outside.

Does not include a dairy farm or hogs/pigs.

See “Accessory Agricultural Buildings and Structures”.

See Title 10 of Clark County Code for regulations regarding care/treatment and protection, including shelter, for animals.

(Ord. 4658 § 10 (part), 1/2019; Ord. 4289 § 1, 5/2015; Ord. 4288 § 4 (part), 5/2015; Ord. 3993 § 3 (part), 12/2011; Ord. 3848 § 7 (part), 2/2010; Ord 3766 § 3 (part), 6/2009; Ord. 3432 § 6 (part), 10/2006; Ord. 2907 § 6 (part), 7/2003; Ord. 2741 § 7 (part), 5/2002)

A=Accessory Use C=Conditional Use P=Permitted Use S=Special Use Permit T= Administrative Temporary Use Permit Note: If box is empty, use is prohibited
Uses SLUCM CODE Residential Districts Commercial Districts Manufacturing/ Industrial Districts Miscellaneous Districts R-U R-A RE R-D R-1 R-T R-2 RUD R-3 R-4 R-5 CRT C-P C-1 C-2 M-D M-1 M-2 O-S H-2 P-F RVP U-V H-1
30.44-11c Table 30.44-1 Global Use Table

Accessory to airports/airstrips and residential dwellings. Hangars within residential subdivisions (accessory to a principal dwelling) which are oriented to, and take service from, an airstrip only shall have the same property development standards as the principal building on the lot. (Ord. 2857 § 10 (part), 2/2003; Ord. 2741 § 7 (part), 5/2002)

Accessory to airports only. This condition cannot be waived or varied. Outside display or storage is permitted. (Ord. 2857 § 10 (part), 2/2003)

Accessory commercial and industrial uses, including, but not limited to, shops; snack bars; lounges and restaurants; vehicle fueling, repair, maintenance, rental, paint and body and wash; office; light manufacturing; warehouse; and fuel storage may be permitted in conjunction with the airport/airstrip provided the accessory uses are specified in a special use permit approval subject to the same development standards required as listed in this table for such uses. The uses need not be on-site if clearly designed to be integrated into airport operations. A security fence or wall is permitted. Landscaping and screening requirements per Table 30.64-2 (Commercial and Special Use.)

Use is permitted outside (Ord. 4077 § 9 (part), 2/2013; Ord. 4010 § 3 (part), 4/2012; Ord. 2857 § 10 (part), 2/2003)

A=Accessory Use C=Conditional Use P=Permitted Use S=Special Use Permit T= Administrative Temporary Use Permit Note: If box is empty, use is prohibited
Uses SLUCM CODE Residential Districts Commercial Districts Manufacturing/ Industrial Districts Miscellaneous Districts R-U R-A RE R-D R-1 R-T R-2 RUD R-3 R-4 R-5 CRT C-P C-1 C-2 M-D M-1 M-2 O-S H-2 P-F RVP U-V H-1 Aircraft Hangars 6400 4300 A A A A A A A A A A A A A A A A A A A A A A
30.44-12 Table
30.44-1 Global Use Table
Aircraft Sale, Maintenance, Repair, Assembly, Fuel Storage 5500 6400 3400 A A A A A A A A A A A A A A S, A S, A A A A A A A
Airport/Airstrip 4300 S S S S S S S S S S S S S S S S S S S S S S

1. Limited to a service bar only (must be sold in conjunction with a meal) unless licensed as a Supper Club. (This condition cannot be waived or varied).

2. If operating as a Supper Club, must have a minimum separation of 200 feet from any residential use unless separated by a collector or arterial street or buffered from the residential use by a building, or as determined by the Commission or Board with approval of the special use permit.

Special Use in H-2 Subject to: Limited to a service bar only (must be sold in conjunction with a meal). Any other on-premises consumption of alcohol shall be located within 600 feet of the intersection of a state highway and an 80 foot collector road or greater. (These conditions cannot be waived or varied.)

Conditional Use in C-2 and U-V and Special Use in M-D, M-1, and H-1 Subject to:

1. For other than a service bar, must have a minimum separation of 200 feet from any residential use unless separated by a collector or arterial street or buffered from the residential use by a building, or as determined by the Commission or Board with the approval of a special use permit.

2. In U-V must be part of a mixed-use development (Section 30.40.310).

Accessory Use when in conjunction with a resort hotel or hotel/motel having 50 or more guest rooms.

NOTES:

• No separation required from multiple family residential uses if the use is part of a qualifying development that opts into the Midtown Maryland Parkway District (See Chapter 30.48 Part P).

• Chapter 8.20 of the Clark County Code regulates the sale of alcohol and cannot be waived or varied (see Business License Department).

(Ord. 4625 § 2 (part), 10/2018; Ord 4275 § 7 (part), 3/2015; Ord 4154 § 3 (part), 12/2013; Ord 3989 § 1, 11/2011; Ord 3971 § 1, 8/2011;Ord 3586 § 5 (part), 2/2008; Ord. 2961 § 6 (part), 10/2003; Ord. 2857 § 10 (part), 2/2003; Ord. 2741 § 7 (part), 5/2002)

A=Accessory Use C=Conditional Use P=Permitted Use S=Special Use Permit T= Administrative Temporary Use Permit Note: If box is empty, use is prohibited
Table 30.44-1
Uses SLUCM CODE Residential Districts Commercial Districts Manufacturing/ Industrial Districts Miscellaneous Districts R-U R-A RE R-D R-1 R-T R-2 RUD R-3 R-4 R-5 CRT C-P C-1 C-2 M-D M-1 M-2 O-S H-2 P-F RVP U-V H-1 Alcohol and Related Uses See Alcohol, On-Premises Consumption, Alcohol Sales, Beer and Wine, Alcohol Sales, Packaged Only, Bar, Brew Pub, Craft Distillery, Lounge, Outside Dining, Drinking and Cooking, Service Bar, Supper Club, Tavern (Ord 4275 § 7 (part), 3/2015; Ord 4154 § 3 (part), 12/2013; Ord 3586 § 5 (part), 2/2008) Alcohol, On-Premises Consumption (“Craft Distillery” is separately regulated) 5800 S C S S S C S,A Special Use in C-1 Subject to:
30.44-12a
Global Use Table

Conditional Use in U-V must be part of a mixed-use development per Section 30.40.310.

Accessory Use when in conjunction with a resort hotel or hotel/motel having 50 or more guest rooms. (Ord

(part), 2/2008)

Conditional Use in U-V must be part of a mixed-use development (Section 30.40.310).

Conditional Use in C-1 in conjunction with a grocery store.

Note: Chapter 8.20 of the Clark County Code regulates the sale of alcohol and cannot be waived or varied (see Business License Department). (Ord 3586 § 5 (part), 2/2008; Ord. 3472 § 7 (part), 1/2007)

Conditional Use in M-D, M-1 and M-2:

1. No byproducts or emissions allowed.

2. Must comply with Department of Environment and Sustainability requirements.

3. Must comply with Environmental Protection Agency (EPA) requirements. These conditions cannot be waived or varied. (Ord. 4760 § 21 (part), 2/2020; Ord 4008 § 29 (part), 3/2012; Ord. 3924 § 6 (part), 1/2011; Ord. 3472 § 7 (part), 1/2007)

Amusement/Theme Park

(Also see “Recreational Facility”) Animal Hospital

(Also see “Veterinary Clinic and Service”)

Special Use Subject to:

1. Must be set back 4,000 feet from any non-industrial use.

2. Must be set back a minimum 200 feet from any other industrial use except accessory uses. No outside uses permitted and the conditions cannot be waived or varied.

Accessory Use must be in conjunction with antique sales.

Conditional Use in U-V must be part of a mixed-use development per Section 30.40.310.

A=Accessory Use C=Conditional Use P=Permitted Use S=Special Use Permit T= Administrative Temporary Use Permit Note: If box is empty, use is prohibited
Table
Uses SLUCM CODE Residential Districts Commercial Districts Manufacturing/ Industrial Districts Miscellaneous Districts R-U R-A RE R-D R-1 R-T R-2 RUD R-3 R-4 R-5 CRT C-P C-1 C-2 M-D M-1 M-2 O-S H-2 P-F RVP U-V H-1 Alcohol Sales, Beer and WinePackaged Only 5900 P P S S S C S,A
30.44-12b
30.44-1 Global Use Table
3918 § 1, 12/2010; Ord 3586 § 5
Alcohol Sales, Liquor - Packaged Only 5900 C P S S S C S
Alternative Fuels Processing 2077 C C C
Animal By-Products Plant 2800 S
Antique Restoration A A A A A A A A
Antiques 5900 5300 S P P S S S C S

(Also see “Dwellings -Multiple Family or Multiple Family Dwelling Groups”)

Apartment, Temporary

(Also see “Dwelling - Temporary Living Quarters”)

Conditional Use in M-D and M-1 and Special Use Permit in C-2, M-2 and H-2: Outside storage is permitted in conjunction with the principal use which is conducted indoors subject to conditions for outside storage (See “Outside Storage” ).

Accessory Use allowed only when in conjunction with a resort hotel or hotel/motel having 50 or more guest rooms. Conditional Use in U-V must be part of a mixed-use development (Section 30.40.310).

Conditional Use in U-V must be part of a mixed-use development (Section 30.40.310).

Artist

(Also see “Home Occupation” or “Art Gallery/Studio”)

A=Accessory Use C=Conditional Use P=Permitted Use S=Special Use Permit T= Administrative Temporary Use Permit
If box is empty, use is prohibited
Uses SLUCM CODE Residential Districts Commercial Districts Manufacturing/ Industrial Districts Miscellaneous Districts R-U R-A RE R-D R-1 R-T R-2 RUD R-3 R-4 R-5 CRT C-P C-1 C-2 M-D M-1 M-2 O-S H-2 P-F RVP U-V H-1
Note:
30.44-13 Table 30.44-1 Global Use Table
Apartment
Appliance Repair 5700 6400 S C C S S
Arcade 7396 S P S S C S,A
Art Gallery/Studio 5900 S P P P S S S P C S

Auction 5900

All Uses Subject to compliance with all federal, state, and local regulations for such facilities (for example, NAC 449.216 establishes criteria for common areas and dining rooms; NRS 449 and 654 establish definitions and state licensing requirements; and Title 6 establishes Clark County licensing requirements).

Special Use Subject to:

The development standards of the district in which it is located, except as modified below.

1. The minimum size lot for such a facility shall not be less than 80,000 square feet.

2. The facility must be adjacent to, and accessed from, a collector or arterial street or a commercial complex.

3. Buildings within, or adjacent to, residential neighborhoods shall be designed with a residential appearance, such as a gabled roof with concrete tile and masonry or stucco wall construction, as may be required by the Commission or Board.

4. Accessory commercial uses for the patients and their guests may be established providing the square footage of all such uses does not exceed 10% of the gross floor area of the building(s), that no exterior signage for the accessory commercial uses is established, and that all commercial deliveries are made between the hours of 8:00 a.m. and 10:00 p.m.

5. Density. The maximum density shall not exceed the allowable density for the district. Facilities within a commercial or special district without dwelling unit density restrictions shall not exceed the equivalent of 25 dwelling units per acre. (This condition cannot be waived or varied.)

A. For the purpose of calculating density:

i. Each bedroom/unit less than 120 square feet shall be considered to be equal to 1/4 of a dwelling unit except as specified in subsection (B) below.

ii. Each bedroom/unit over 120 square feet shall be considered to be equal to 1/2 of a dwelling unit except as specified in subsection (B) below.

B. Where an applicant demonstrates that a portion of a bedroom/unit will not be used for the purpose of additional beds, but will be used as a seating area or other similar purpose which enhances the quality of living for the occupants, dwelling unit density shall be calculated as follows:

i. Each bedroom/unit 120 square feet or more but less than 180 square feet shall be considered to be equal to one 1/4 of a dwelling unit; and

ii. Each bedroom/unit 180 square feet or more shall be considered to be equal to 1/2 of a dwelling unit

Conditional Use in U-V must be part of a mixed-use development per Section 30.40.310. (Ord 3688 § 7 (part), 10/2008; Ord. 3296 § 5 (part), 10/2005; Ord. 3055 § 4 (part), 4/2003; Ord. 2741 § 7 (part), 5/2002)

Accessory Use in H-1 in conjunction with resort hotels.

Accessory Use in M-D and M-2 in conjunction with “Equipment Sales/Rental/Service – Construction or Heavy Equipment”

Use is permitted outside. (Ord. 4010 § 3 (part), 4/2012; Ord. 3635 § 6 (part), 6/2008; Ord 3008 §6 (part), 12/2003)

A=Accessory Use C=Conditional Use P=Permitted Use S=Special Use Permit T= Administrative Temporary Use Permit Note: If box is empty, use is prohibited 30 44-14 Table 30.44-1 Global Use Table Uses SLUCM CODE Residential Districts Commercial Districts Manufacturing/ Industrial Districts Miscellaneous Districts R-U R-A RE R-D R-1 R-T R-2 RUD R-3 R-4 R-5 CRT C-P C-1 C-2 M-D M-1 M-2 O-S H-2 P-F RVP U-V H-1 Assisted / Independent Living Facility
see “Congregate Care Facility” and “Supportive Housing”) 1200 S S S S S S S S S S S S S S S S S S S S S C S
(Also
S S
P A A
S,A

Conditional Use in R-U, R-A, R-D, R-E, R-1 and R-T Subject to:

1. Must be accessory to a residential use.

2. Minimum 20,000 square foot lot.

3. At any given time, the number of unlicensed or inoperable automobiles stored outside of an enclosed building shall not exceed 2 for the 20,000 square feet of lot area, plus 1 for every 10,000 square feet of lot area thereafter.

a. Any unlicensed operable automobile permitted by NRS 487.290 shall be counted as automobiles permitted by this subsection (2).

b. Special use permit approval shall be required to increase the number of inoperable automobiles stored outside up to double the number permitted.

c. Waiver of development standards approval shall be required for any increase over the double limit.

4 Any vehicular hobby activity conducted outside shall be:

a. Restricted to side and rear yards only.

b. Enclosed with a 6 foot minimum block wall. In Community District 5 outside the Red Rock Design Overlay District, screening may be provided, in lieu of block wall.

c. Set back a minimum of 100 feet from the front property line. In Community District 5 outside the Red Rock Design Overlay District, the setback may be reduced to a minimum of 50 feet or 40% of the length of the lot, whichever is greater.

d. Restricted to paved surfaces only, when located within the Air Quality Affected Areas (See Appendix G, Map 11).

5. Nothing shall be stacked or piled above the height of the block wall or screening or otherwise constitute a dangerous structure or condition pursuant to Clark County Code, Title 11, Section 11.06.010.

6. All painting must be performed off the premises in a paint/spray location approved by the Department of Environment and Sustainability.

7. All automobiles must be owned by a resident or closely held corporation of the resident of subject property, and proof of ownership of automobiles must be available upon inspection.

8 The repair, restoration, or storage of commercial vehicles, or automobiles not owned by a resident or closely held corporation of the resident of subject property, is prohibited.

9 When in R-1, R-D or R-T, must be located outside the Red Rock Overlay District and within Community District 5. NOTE: Must comply with all federal, state, and county regulations with respect to hazardous materials. Conditions #4 through #9 can not be waived or varied, unless within Community District 5 (applications to waive or vary the conditions cannot be accepted in the Red Rock Design Overlay District). (Ord. 4760 § 21 (part), 2/2020; Ord. 4010 § 3 (part), 4/2012; Ord 4008 § 29 (part), 3/2012; Ord. 3924 § 6 (part), 1/2011; Ord. 3766 § 3 (part), 6/2009; Ord 3586 § 5 (part), 2/2008; Ord. 3190 § 2 (part) 2/2005)

A=Accessory Use C=Conditional Use P=Permitted Use S=Special Use Permit T= Administrative Temporary Use Permit Note: If box is empty, use is prohibited 30.44-15 Table 30.44-1 Global
Table Uses SLUCM CODE Residential Districts Commercial Districts Manufacturing/ Industrial Districts Miscellaneous Districts R-U R-A RE R-D R-1 R-T R-2 RUD R-3 R-4 R-5 CRT C-P C-1 C-2 M-D M-1 M-2 O-S H-2 P-F RVP U-V H-1 Automobile Hobby Repair & Restoration 0 C C C C C C
Use

Special Use in C-2, M-2 and M-D Subject to:

1. Service bay doors shall not face toward a residential development unless separated by a public street or screened by another building.

2 All repairs must be within an enclosed building.

3. All painting must be conducted within a painting booth approved by the Clark County Department of Environment and Sustainability.

4. Waste systems shall be locked and out of public view.

Conditional Use in M-1 Subject to:

1. Service bay doors shall not face toward a residential development unless separated by a public street or screened by another building. Accessory Use in H-1 Subject to:

1. Must be in conjunction with automobile sales.

2. All automobile repair operations and storage of parts, equipment, and/or disabled vehicles must be completely enclosed within the building.

3. Compliance with the requirements, conditions, and restrictions for accessory uses as listed for Resort Hotels in this Chapter. (The conditions for accessory use in H-1 may not be waived or varied.) (Ord. 4760 § 21 (part), 2/2020; Ord. 4010 § 3 (part), 4/2012; Ord 4008 § 29 (part), 3/2012; Ord 3586 § 5 (part), 2/2008; Ord. 3085 § 51 (part), 6/2004; Ord. 2835 § 1, (part) 12/2002; Ord. 2658 § 2, 2001)

A=Accessory Use C=Conditional Use P=Permitted Use S=Special Use Permit T= Administrative Temporary Use Permit Note: If box is empty, use is prohibited
Table 30.44-1 Global
Table Uses SLUCM CODE Residential Districts Commercial Districts Manufacturing/ Industrial Districts Miscellaneous Districts R-U R-A RE R-D R-1 R-T R-2 RUD R-3 R-4 R-5 CRT C-P C-1 C-2 M-D M-1 M-2 O-S H-2 P-F RVP U-V H-1 Automobile Minor Paint/Body Shop (Also see “Vehicle Paint and Body Shop”) 6400 S S C S A
30.44-16
Use

Bakery

(Also see “Food Processing”)

Use C=Conditional Use P=Permitted Use
Use Permit
Administrative Temporary Use Permit
If box is empty, use is prohibited
Uses SLUCM CODE Residential Districts Commercial Districts Manufacturing/ Industrial Districts Miscellaneous Districts R-U R-A RE R-D R-1 R-T R-2 RUD R-3 R-4 R-5 CRT C-P C-1 C-2 M-D M-1 M-2 O-S H-2 P-F RVP U-V H-1
A=Accessory
S=Special
T=
Note:
30.44-17 Table 30.44-1 Global Use Table

Conditional Use in C-2 and Special Use in C-1, M-D, M-1 and H-1 Subject to:

1. No outside uses. The Commission or Board may consider waiving this condition with the approval of a special use permit.

2. If adjacent to residential use, the use must be located on the ground floor.

3. If in U-V must be part of a mixed-use development (Section 30.40.310).

Accessory Use when in conjunction with a resort hotel or hotel/motel having 50 or more guest rooms.

Note: A special use permit is required for Live Entertainment. Chapter 8.20 of the Clark County Code regulates the sale of alcohol and cannot be waived or varied (see Business License Department). (Ord. 3757 § 5 (part), 4/2009; Ord 3688 § 7 (part), 10/2008; Ord. 3397 § 6 (part), 6/2006) Bar (Also see “Alcohol, On-premises Consumption”)

(Ord 4275 § 7 (part), 3/2015; Ord 3586 § 5 (part), 2/2008)

A=Accessory Use C=Conditional Use P=Permitted Use S=Special Use Permit T= Administrative Temporary Use Permit
If box is empty, use is prohibited
Global
Uses SLUCM CODE Residential Districts Commercial Districts Manufacturing/ Industrial Districts Miscellaneous Districts R-U R-A RE R-D R-1 R-T R-2 RUD R-3 R-4 R-5 CRT C-P C-1 C-2 M-D M-1 M-2 O-S H-2 P-F RVP U-V H-1 Banquet Facilities 5800 S C S S C S,A
Note:
30.44-18 Table 30.44-1
Use Table

Special Use Subject to: (Use is permitted outside)

1. 1,000 foot setback to any equipment from an existing occupied residential dwelling on any other property.

2. Batch plant located within Hydrographic Basins 212, 216, or 217 shall: (These conditions cannot be waived or varied.)

A. Pave all haul roads providing access to the site included in the special use permit. The paving on those portions of the haul roads located on public access easements, dedicated right-of-way, or other portions designated by the Commission or Board shall be designed to satisfy load and durability requirements in accordance with Clark County standards,

B. Service roads located within such facilities, and any area used for parking, loading, or storing motor vehicles, equipment, or materials shall be paved

3. For batch plants which are located outside of Hydrographic Basins 212, 216, or 217, haul roads need not be paved and service roads and parking areas need not be graveled unless otherwise required by the Commission or Board as conditions of the special use permit or by Clark County Air Quality Regulations.

4. Landscaping, trash enclosure and wall requirements shall not apply to this use.

5. Any application for an extension of time for such special use permit shall demonstrate continued compatibility with any existing use, or with any proposed use approved by a land use application, within a 1,000 foot radius from any equipment utilized for the batch plant.

6. A security fence or wall is permitted.

7. Temporary construction equipment is permitted to exceed the maximum height of the district.

8. Pre-cast concrete may be permitted provided the use is specified in the special use permit, the production and storage does not exceed 50% of the area used for the batch plant, and the batch plant is adjacent to a railroad (Ord. 4052 § 2 (part), 9/2012; Ord 3688 § 7 (part), 10/2008; Ord. 3635 § 6 (part), 6/2008; Ord. 2907 § 6 (part), 7/2003; Ord. 2605 § 2, 2001; Ord 2609 § 1, 2001)

A=Accessory Use C=Conditional Use P=Permitted Use S=Special Use Permit T= Administrative Temporary Use Permit Note: If box is empty, use is prohibited
Table 30.44-1 Global Use Table Uses SLUCM CODE Residential Districts Commercial Districts Manufacturing/ Industrial Districts Miscellaneous Districts R-U R-A RE R-D R-1 R-T R-2 RUD R-3 R-4 R-5 CRT C-P C-1 C-2 M-D M-1 M-2 O-S H-2 P-F RVP U-V H-1 Batch Plant, Permanent 3200 S S S
30.44-19

Bathhouse 7425

Special Use Subject to: (Use is permitted outside) Batch plants must be in conjunction with a major project, a temporary construction project, or public project and are subject to the following conditions:

1. Batch plants in conjunction with major projects must be in conjunction with a gravel pit and are subject to the conditions for gravel pits in conjunction with major projects (See “Gravel Pits, Temporary,” condition #2).

2. Batch plants in conjunction with specified temporary construction projects on a site other than the construction site:

A. If the property is located within Hydrographic Basins 212, 216 or 217, paved access shall be provided. This condition cannot be waived or varied.

B. The property shall be adequately buffered from existing residential uses as determined by the Commission or Board.

C. Landscaping, trash enclosure, and screening wall requirements shall not apply to this use.

D. On-site paving, including parking and drive aisles, shall not be required provided all Clark County Air Quality Regulations are met.

E. The special use permit shall be approved for a time limit of 2 years, or the time required to complete the construction project, whichever comes first. Extensions of time may be considered and treated as a public hearing.

3. Batch plants in conjunction with a public project initiated and funded by any governmental entity:

A. The property shall be adequately buffered from existing residential uses as determined by the Commission or Board.

B. Landscaping, trash enclosure and screening requirements shall not apply to this use.

C. On-site paving, including parking and drive aisles shall not be required provided all Clark County Air Quality Regulations are met.

D. The special use permit shall be approved for a time limit of 5 years, or the time required to complete the public project, whichever comes first. Extensions of time may be considered.

NOTE: Batch plants and related construction equipment in conjunction with an on-site temporary construction project are permitted provided there is an active building permit for the property. (Ord. 4658 § 10 (part), 1/2019; Ord 3688 § 7 (part), 10/2008; Ord. 3635 § 6 (part), 6/2008; Ord. 2907 § 6 (part), 7/2003; Ord. 2857 § 10 (part), 2/2003)

Special Use in M-1 Subject to:

1. Beer, wine, liquor, or tobacco sales, and any type of massage or reflexology are prohibited. (Ord. 4194 § 3 (part), 4/2014; Ord. 3296 § 5 (part), 10/2005)

Beauty Salon

(Also see “Personal Services”)

A=Accessory Use C=Conditional Use P=Permitted Use S=Special Use Permit T= Administrative Temporary Use Permit Note: If box is empty, use is prohibited 30.44-20 Table 30.44-1 Global Use Table Uses SLUCM CODE Residential Districts Commercial Districts Manufacturing/ Industrial Districts Miscellaneous Districts R-U R-A RE R-D R-1 R-T R-2 RUD R-3 R-4 R-5 CRT C-P C-1 C-2 M-D M-1 M-2 O-S H-2 P-F RVP U-V H-1 Batch Plant - Temporary 3200 S S S S S S S S S S S S S S S S S S S S S S
S

Special Use Subject to: (Conditions 6 through 9 cannot be waived or varied.)

1. Maximum of 4 guestrooms.

2. The facility must be adjacent to, and accessed from, a collector or arterial street.

3. Must conform to the Residential Design Standards in Table 30.56-2A.

4. Must have 3 car garage; no on-street parking.

5. There shall only be 1 lighted nameplate (see Table 30.72-1).

6. Must be located within Community District 5 only.

7. No on-site facilities for parking or standing (waiting, queuing) for buses, limousines, or taxis

8. Water and sewer connection/fees or compliance to Southern Nevada Health District regulations regarding the establishment of a sanitation system and the State Department of Water Resources for the provision of water.

9. Commercial building code standards. (Ord. 4109 § 3 (part), 7/2013; Ord. 3472 § 7 (part), 1/2007)

Outside storage is permitted subject to the conditions for outside storage subject to conditions for outside storage (See “Outside Storage”).

Bicycle Repairs

(Also see “Retail Sales and Service”)

Billboard

(Also see “Off-Premises Signs”)

(Ord 4275 § 7 (part), 3/2015; Ord. 2981 § 4 (part), 11/2003)

Billiard

Conditional Use in U-V must be part of a mixed-use development per Section 30.40.310. Accessory Use when in conjunction with a resort hotel only.

Biodiesel, (Also see “Alternative Fuels Processing”)

(Ord 3586 § 5 (part), 2/2008) (Ord. 3970 § 5 (part), 8/2011; Ord 3586 § 5 (part), 2/2008)

Blacksmith 3400 S S

Boarding House 1200 S

Special Use Permit Subject to: Maximum 50 guestrooms per acre. Each 120 square feet, or fraction thereof, of floor area used for sleeping purposes shall be considered a separate guestroom. This condition cannot be waived or varied.

A=Accessory Use C=Conditional Use P=Permitted Use S=Special Use Permit T= Administrative Temporary Use Permit Note: If box is empty, use is prohibited
Table
Global
Uses SLUCM CODE Residential Districts Commercial Districts Manufacturing/ Industrial Districts Miscellaneous Districts R-U R-A RE R-D R-1 R-T R-2 RUD R-3 R-4 R-5 CRT C-P C-1 C-2 M-D M-1 M-2 O-S H-2 P-F RVP U-V H-1 Bed and Breakfast 1300 S S
30.44-21
30.44-1
Use Table
Beverage Plant 2100 C C S
Hall 7396 P S S S C S,A

Special Use Subject to:

1. Minimum lot area of 160,000 square feet.

2. Maximum of 1 animal per 4,000 square feet of lot area.

3. Pastures, turnouts, or areas for the purpose of training or exercising animals shall:

A. be permitted in the front yard with no additional setback, provided the requirements for accessory structures and fencing are satisfied (fencing materials may include traditional farm fencing (smooth twisted wire mounted on posts) or alternative fencing used for confining domestic animals if compatible with the rural character of the immediate area); and

B. provide 1,200 square feet per horse kept on premises.

4. Minimum 120 square feet of stall or pen area shall be provided for each horse, 90 square feet of which must be covered with a solid construction material.

5. Boarding stalls, corrals, pens and paddocks for animals (considered structures) shall:

A. be located in the side or rear yard;

B. maintain 5 foot minimum side and rear setbacks; and

C. maintain 30 foot minimum setback from any existing residence on an adjacent lot. (Also see definition and graphic of “Paddock” in 30.08.030)

6 Corrals, arenas, paddocks, pens, and stalls shall be cleaned regularly.

7. Environmental Standards, including outdoor lighting, noise, and dust control. (See Chapter 30.68)

8. Fencing.

A. Perimeter wall or fence enclosing entire facility (stables, paddocks, arenas, pastures, etc), shall have a minimum height of 5 feet.

B. Access gates shall be provided and remain closed at all times. Gates shall contain a self-locking or latching device to prevent accidental loss of animals from the premises.

9. Signs are permitted by Chapter 30.72 which may only contain the name, address, or phone number of the owner or business.

10. Paving is not required for commercial boarding stables, however, required dust control measures shall be maintained per Clark County Air Quality Regulations.

11 One tree per 50 linear feet along all side and rear property lines shall be required, except within arenas.

12. The Commission or Board may consider waiving any condition listed above with the approval of the special use permit. Animals are permitted outside.

Note: Registered and operable animal trailers may be stored on site.

(Ord 4275 § 7 (part), 3/2015; Ord. 4010 § 3 (part), 4/2012; Ord. 3970 § 5 (part), 8/2011; Ord. 3924 § 6 (part), 1/2011; Ord. 3848 § 7 (part), 2/2010; Ord. 3766 § 3 (part), 6/2009; Ord. 3757 § 5 (part), 4/2009; Ord 3688 § 7 (part), 10/2008; Ord. 3432 § 6 (part), 10/2006; Ord. 3229 § 8 (part), 6/2005; Ord. 2907 § 6 (part), 7/2003).

A=Accessory Use C=Conditional Use P=Permitted Use S=Special Use Permit T= Administrative Temporary Use Permit
If box is empty, use is prohibited
Global
Uses SLUCM CODE Residential Districts Commercial Districts Manufacturing/ Industrial Districts Miscellaneous Districts R-U R-A RE R-D R-1 R-T R-2 RUD R-3 R-4 R-5 CRT C-P C-1 C-2 M-D M-1 M-2 O-S H-2 P-F RVP U-V H-1
Stable, Commercial 8160 S S S
Note:
30.44-22 Table 30.44-1
Use Table
Boarding

Brew Pub

(Also see “Alcohol, On-premises Consumption” )

(Ord 4275 § 7 (part), 3/2015; Ord 3586 § 5 (part), 2/2008)

Broadcast Facility

(Also see “Recording Studio”)

Building Materials

(Also see “Home Improvement Center”)

Building Materials Storage and Sales Yard

(Also see “Lumber Yard”)

Conditional Use Subject to all applicable conditions for Commercial Boarding Stables, except the following shall additionally be required:

1. Minimum lot area of 80,000 square feet.

2. Maximum of one animal per 4,000 square feet of lot area, up to a maximum total 25 animals.

3. Permitted only in conjunction with a dwelling.

4. Paving is not required for residential boarding stables; however, required dust control measures shall be maintained per Clark County Air Quality Regulations.

Animals are permitted outside.

Registered and operable animal trailers may be stored on site.

(Ord. 3766 § 3 (part), 6/2009; Ord. 3757 § 5 (part), 4/2009; Ord. 3432 § 6 (part), 10/2006; Ord. 3354 § 6 (part), 2/2006)

Accessory to beauty salon, or a resort hotel.

Conditional in U-V must be part of a mixed-use development (Section 30.40.310). (Ord. 2672 § 1 (part), 2001)

Special Use in M-D, M-1 and M-2 subject to:

1. Must be set back 200 feet from any non-industrial use.

2. Must be set back 600 feet from any residential use.

3. Samples of alcoholic beverages produced on site may be served.

4. Alcoholic beverages may not be sold by the drink or sold retail by the establishment. This condition shall not be waived or varied.

(Ord 4154 § 3 (part), 12/2013; Ord 4004 § 3 (part), 3/2012)

A=Accessory Use C=Conditional Use P=Permitted Use S=Special Use Permit T= Administrative Temporary Use Permit
If box is empty, use is prohibited
Global
Uses SLUCM CODE Residential Districts Commercial Districts Manufacturing/ Industrial Districts Miscellaneous Districts R-U R-A RE R-D R-1 R-T R-2 RUD R-3 R-4 R-5 CRT C-P C-1 C-2 M-D M-1 M-2 O-S H-2 P-F RVP U-V H-1 Boarding Stable – Residential 1110 C C C
Note:
30.44-23 Table 30.44-1
Use Table
Body Piercing 6200 A P P P P A C A
Book Binding 2700 P P S Brewery 2100 S S S

Special Use in R-U, R-A, O-S, and RVP Subject to: Any area greater than 5,000 square feet used for parking, maneuvering, or storing motor vehicles, equipment, or materials shall be paved This condition cannot be waived or varied. Landscaping and screening requirements per Table 30.64-2 (Commercial and Special Use). Use is permitted outside. (Ord. 4077 § 9 (part), 2/2013; Ord. 4052 § 2 (part), 9/2012; Ord 3688 § 7 (part), 10/2008; Ord. 2907 § 6 (part), 7/2003; Ord. 2857 § 10 (part), 2/2003)

Special Use Subject to: (these conditions cannot be waived or varied except as specified below)

1. Must maintain the following minimum separations (Separations shall be measured from the front door of the proposed establishment to the nearest property line of the respective use):

A. 1,000 feet from a school.

B. 300 feet from a community facility.

2. Shall not be located within the Las Vegas Boulevard Gaming Corridor or within 1,500 feet of a nonrestricted gaming property as measured from the front door of the proposed establishment to the nearest property line.

3. Must be conducted within an enclosed building.

4. Cannabis shall be obtained from a Cultivation Facility or Production Facility within Clark County if an adequate supply is available. NOTES:

• The applicant shall provide evidence certified by a professional land surveyor licensed in the State of Nevada that demonstrates conformity with the separation requirements. When co-locating with an operating Dispensary which has received a Clark County Business License and State Certificate, separations shall be per the separations in place at the time of the approval of the existing Special Use Permit. (Ord 4903 § 6 (part), 12/2021; Ord. 4839 § 9 (part), 1/2021; Ord. 4804 § 1 (part), 9/2020; Ord. 4559 § 8 (part), 1/2018; Ord. 4537 § 1, 11/2017; Ord. 4487 § 3, 6/2017; Ord. 4435 § 2, 11/2016; Ord. 4193 § 4, 4/2014)

A=Accessory Use C=Conditional Use P=Permitted Use S=Special Use Permit T= Administrative Temporary Use Permit Note: If box is empty, use is prohibited
Table 30.44-1 Global
Table Uses SLUCM CODE Residential Districts Commercial Districts Manufacturing/ Industrial Districts Miscellaneous Districts R-U R-A RE R-D R-1 R-T R-2 RUD R-3 R-4 R-5 CRT C-P C-1 C-2 M-D M-1 M-2 O-S H-2 P-F RVP U-V H-1 Campground 7500 S S S S
30.44-24
Use
Cannabis Establishment, Medical or Retail Cannabis Retail Store 5900 S S S S S

Special Use Subject to:

1. Must maintain the following minimum separations (Separations shall be measured from the front door of the proposed establishment to the nearest property line of the respective use):

A. 1,500 feet from a school.

B. 1,500 feet from a community facility.

Waivers to reduce these separations may be requested to the minimum distance established pursuant to NRS 678B.

2. Must maintain a 1,500 foot separation from a nonrestricted gaming property as measured from the front door of the proposed establishment to the nearest property line. Waivers to reduce these separations may only be requested for Retail Cannabis Consumption Lounges as defined by NRS 678A to the minimum distance established pursuant to NRS 678B.

3. Shall not be located within the Las Vegas Boulevard Gaming Corridor. This condition cannot be waived or varied.

4. Outside cannabis consumption must have a minimum separation of 1,500 feet from any residential use unless separated by a collector or arterial street or buffered from the residential use by a building.

NOTE: The applicant shall provide evidence certified by a professional land surveyor licensed in the State of Nevada that demonstrates conformity with the separation requirements. (Ord. 4997 § 3, 11/2022; Ord. 4839 § 9 (part), 1/2021; Ord. 4770 § 7 (part), 3/2020; Ord. 4559 § 8 (part), 1/2018)

Conditional Use Subject to: (these conditions cannot be waived or varied)

1. Only when re-designating the Cultivation Facility to no longer differentiate between a medical or adult-use cannabis use subject to approval of an Administrative Design Review per Table 30.16-10.

2. Separations shall be per the separations in place at the time of the approval of the existing Special Use Permit for a Cannabis Establishment.

Special Use Subject to: (these conditions cannot be waived or varied except as specified below)

1. Must maintain the following minimum separations (Separations shall be measured from the front door of the proposed establishment to the nearest property line of the respective use):

A. 1,000 feet from a school.

B. 300 feet from a community facility.

C. 660 feet from a residential use unless waived with the approval of a waiver of development standards.

2. Shall not be located within the Las Vegas Boulevard Gaming Corridor, or within 1,500 feet of a nonrestricted gaming property as measured from the front door of the proposed establishment to the nearest property line

3. Outdoor cultivation is not permitted.

4. Retail sales are not permitted.

5. In C-2, shall only be permitted outside the Las Vegas Valley BLM Land Disposal Boundary

NOTE: The applicant shall provide evidence certified by a professional land surveyor licensed in the State of Nevada that demonstrates conformity with the separation requirements. (Ord. 4839 § 9 (part), 1/2021; Ord. 4770 § 7 (part), 3/2020; Ord. 4559 § 8 (part), 1/2018)

A=Accessory Use C=Conditional Use P=Permitted Use S=Special Use Permit T= Administrative Temporary Use Permit Note: If box is empty, use is prohibited
Table 30.44-1 Global
Uses SLUCM CODE Residential Districts Commercial Districts Manufacturing/ Industrial Districts Miscellaneous Districts R-U R-A RE R-D R-1 R-T R-2 RUD R-3 R-4 R-5 CRT C-P C-1 C-2 M-D M-1 M-2 O-S H-2 P-F RVP U-V H-1 Consumption Lounge 5800 5900 S S S S S
30.44-25
Use Table
Cultivation Facility 8190 S, C S, C S, C

Special Use Subject to: (these conditions cannot be waived or varied except as specified below)

1. Must maintain the following minimum separations (Separations shall be measured from the front door of the proposed establishment to the nearest property line of the respective use):

A. 1,000 feet from a school.

B. 300 feet from a community facility.

2. Shall not be located within the Las Vegas Boulevard Gaming Corridor, or within 1,500 feet of a nonresticted gaming property as measured from the front door of the proposed establishment to the nearest property line.

3. Must be conducted within an enclosed building.

4. Cannabis shall be obtained from a Cultivation Facility or Production Facility within Clark County if an adequate supply is available.

NOTE: The applicant shall provide evidence certified by a professional land surveyor licensed in the State of Nevada that demonstrates conformity with the separation requirements. (Ord. 4839 § 9 (part), 1/2021; Ord. 4804 § 1 (part), 9/2020; Ord. 4770 § 7 (part), 3/2020)

Special Use Subject to: (these conditions cannot be waived or varied except as specified below)

1. Must maintain the following minimum separations (Separations shall be measured from the front door of the proposed establishment to the nearest property line of the respective use):

A. 1,000 feet from a school.

B. 300 feet from a community facility.

2. Shall not be located within the Las Vegas Boulevard Gaming Corridor, or within 1,500 feet of a nonresticted gaming property as measured from the front door of the proposed establishment to the nearest property line

NOTE: The applicant shall provide evidence certified by a professional land surveyor licensed in the State of Nevada that demonstrates conformity with the separation requirements. (Ord. 4850 § 2, 3/2021)

A=Accessory Use C=Conditional Use P=Permitted Use S=Special Use Permit T= Administrative Temporary Use Permit
If box is empty, use is prohibited
Table 30.44-1 Global
Table Uses SLUCM CODE Residential Districts Commercial Districts Manufacturing/ Industrial Districts Miscellaneous Districts R-U R-A RE R-D R-1 R-T R-2 RUD R-3 R-4 R-5 CRT C-P C-1 C-2 M-D M-1 M-2 O-S H-2 P-F RVP U-V H-1 Dispensary 6510 S S S S S
Note:
30.44-26
Use
Distributor 6510 S S S S S

Conditional Use Subject to: (these conditions cannot be waived or varied)

1. Only when re-designating the Independent Testing Laboratory to no longer differentiate between a medical or adult-use cannabis use subject to approval of an Administrative Design Review per Table 30.16-10.

2. Separations shall be per the separations in place at the time of the approval of the existing Special Use Permit for a Cannabis Establishment.

Special Use Subject to: (these conditions cannot be waived or varied except as specified below)

1. Must maintain the following minimum separations (Separations shall be measured from the front door of the proposed establishment to the nearest property line of the respective use):

A. 1,000 feet from a school.

B. 300 feet from a community facility.

2. Shall not be located within the Las Vegas Boulevard Gaming Corridor, or within 1,500 feet of a nonrestricted gaming property as measured from the front door of the proposed establishment to the nearest property line

3. Must be conducted within an enclosed building.

4. Wholesale and retail sales are not permitted.

5. NOTE: The applicant shall provide evidence certified by a professional land surveyor licensed in the State of Nevada that demonstrates conformity with the separation requirements. (Ord. 4839 § 9 (part), 1/2021; Ord. 4770 § 7 (part), 3/2020; Ord. 4559 § 8 (part), 1/2018)

A=Accessory Use C=Conditional Use P=Permitted Use S=Special Use Permit T= Administrative Temporary Use Permit Note: If box is empty, use is prohibited
Table 30.44-1 Global Use Table Uses SLUCM CODE Residential Districts Commercial Districts Manufacturing/ Industrial Districts Miscellaneous Districts R-U R-A RE R-D R-1 R-T R-2 RUD R-3 R-4 R-5 CRT C-P C-1 C-2 M-D M-1 M-2 O-S H-2 P-F RVP U-V H-1 Independent Testing Laboratory 6510 S, C S, C S, C S, C S, C
30.44-27

Conditional Use Subject to: (these conditions cannot be waived or varied)

1. Only when re-designating the Production Facility to no longer differentiate between a medical or adult-use cannabis use subject to approval of an Administrative Design Review per Table 30.16-10.

2. Separations shall be per the separations in place at the time of the approval of the existing Special Use Permit for a cannabis Establishment.

Special Use Subject to: (these conditions cannot be waived or varied except as specified below)

1. Must maintain the following minimum separations (Separations shall be measured from the front door of the proposed establishment to the nearest property line of the respective use):

A. 1,000 feet from a school.

B. 300 feet from a community facility.

C. 660 feet from a residential use unless waived with the approval of a waiver of development standards.

2. Shall not be located within the Las Vegas Boulevard Gaming Corridor, or within 1,500 feet of a nonrestricted gaming property as measured from the front door of the proposed establishment to the nearest property line.

3. Must be located within an enclosed building.

4. Retail sales are not permitted.

5. In C-2: Shall only be permitted outside the Las Vegas Valley BLM Land Disposal Boundary.

NOTE: The applicant shall provide evidence certified by a professional land surveyor licensed in the State of Nevada that demonstrates conformity with the separation requirements. (Ord. 4839 § 9 (part), 1/2021; Ord. 4770 § 7 (part), 3/2020; Ord. 4658 § 10 (part), 1/2019; Ord. 4559 § 8 (part), 1/2018)

Carnival/Circus – See Temporary Outdoor Commercial Event or Recreational Facility (Ord. 4658 § 10 (part), 1/2019; Ord. 3970 § 5 (part), 8/2011; Ord. 2646 § 1, 2001)

Casino (Also see “Resort Hotel”)

Casita

(See “Accessory Apartment” and “Temporary Living Quarters”)

1900

See conditions under “Accessory Apartment”. (Ord. 4200 § 4 (part), 5/2014; Ord. 3472 § 7 (part), 1/2007; Ord. 3432 § 6 (part), 10/2006) Caterer

Conditional Use in U-V must be part of a mixed-use development per Section 30.40.310.

Conditional Use or Special Use Subject to:

1. If pet cemetery, must be a minimum of 2.5 acres. (This cannot be waived or varied)

2. Must front on a collector or arterial street. Use is permitted outside. Landscaping and screening requirements per Table 30.64-2 (Commercial and Special Use). (Ord. 4077 § 9 (part), 2/2013; Ord. 4010 § 3 (part), 4/2012; Ord. 3174 § 5 (part), 1/2005)

A=Accessory Use C=Conditional Use P=Permitted Use S=Special Use Permit T= Administrative Temporary Use Permit Note: If box is empty, use is prohibited
Global
Uses SLUCM CODE Residential Districts Commercial Districts Manufacturing/ Industrial Districts Miscellaneous Districts R-U R-A RE R-D R-1 R-T R-2 RUD R-3 R-4 R-5 CRT C-P C-1 C-2 M-D M-1 M-2 O-S H-2 P-F RVP U-V H-1 Production Facility 3900 S, C S, C S, C
30.44-27a Table 30.44-1
Use Table
6300 P P P P S C S
Cemetery 6240 S S S S S S S S S S S S C C C C C S S S S S S

Ceramics Manufacturing

(Also see “Manufacturing, Light”)

Chemical Storage

(Also see “Hazardous Materials

Storage”)

(Ord. 2890 § 5 (part), 4/2003)

NOTE: Landscaping and screening requirements per Table 30.64-2 (Commercial and Special Use). (Ord. 4839 § 9 (part), 1/2021;

9 (part), 2/2013; Ord. 4011 § 2 (part), 4/2012; Ord 3160 § 11 (part), 11/2004)

Christmas Tree Sales Lot

(Also see “Seasonal Outdoor Sales”)

Church

(Also see “Place of Worship”)

Clinics

(Also see “Office”)

Club

Conditional Use in C-2 and U-V and Special Use in M-1, M-D, H-1 and Subject to: Must be set back minimum 200 feet from any residential use on a separate property. The Commission or Board may consider waiving this condition with the approval of a special use permit.

Conditional Use in U-V must be part of a mixed-use development (Section 30.40.310).

NOTES:

• No separation required from multiple family residential uses if the use is part of a qualifying development that opts into the Midtown Maryland Parkway District (See Chapter 30.48 Part P).

• Chapter 8.20 of the Clark County Code regulates the sale of alcohol and cannot be waived or varied (see Business License Department).

(Ord. 4625 § 2 (part), 10/2018)

(Also see “Antiques”) 5900

Collectible/Memorabilia Store

NOTE: Landscaping and screening requirements per Table 30.64-2 (Commercial and Special Use.) (Ord. 4770 § 7 (part), 3/2020; Ord. 4077 § 9 (part), 2/2013)

A=Accessory Use C=Conditional Use P=Permitted Use S=Special Use Permit T= Administrative Temporary Use Permit Note: If box is empty, use is prohibited
Uses SLUCM CODE Residential Districts Commercial Districts Manufacturing/ Industrial Districts Miscellaneous Districts R-U R-A RE R-D R-1 R-T R-2 RUD R-3 R-4 R-5 CRT C-P C-1 C-2 M-D M-1 M-2 O-S H-2 P-F RVP U-V H-1
30.44-28 Table 30.44-1 Global Use Table
1200 S S S S S S S S S S S S S S S S S S S
Childcare Institution
Ord. 4077 §
6990 C S S C S
College or University 6800 S S S S S S S S S S S S S S S S S S S S S S S

1. Antennas are permitted without a special use permit or administrative design review when:

A. Located on existing buildings or structures which are not visible or are designed to match the architecture of the existing building. Such “stealth” antennas shall not be considered for the purposes of separations, collocation, setbacks, etc.

B. Located on existing structures, including a signal, light or sign, if:

i. Within non-residential developments.

ii. Designed to be architecturally compatible with the structure.

iii. Height not to exceed 8 feet above the structure, if the structure is 35 feet or less, or 12 feet if the structure is greater than 35 feet.

iv. If public property, communications provider shall enter into lease agreement with controlling governing body.

C. Collocated on existing or reconstructed towers.

i. Height. The Height of an existing tower may be increased by 10% of the initial approved height with the addition of an antenna.

ii. If reconstructed tower, the original tower shall be removed within 60 days of the new tower being operational.

D. One radio transmission and receiving mast tower is permitted as an accessory use to a single family residence which is occupied by a Federal Communication Commission licensed amateur radio operator with the following conditions:

i. The overall height does not exceed 60 feet unless further restricted by the Airport Airspace Overlay;

ii. The structure shall not be less than 15 feet from any side or rear property line;

iii. The tower shall be designed and operated so as to comply with the regulations promulgated by the FCC;

iv. The tower must be removed when no longer in use.

2. Antennas are permitted with an administrative design review when located on public utility structure within a residential development if the height does not exceed the height of the existing structure.

3. Antennas for signal reception only which do not exceed 8 feet on a building 35 feet high or less, or 12 feet high on a building over 35 feet high, or which conform to the height restrictions for accessory structures, are permitted.

(Ord. 4077 § 9 (part), 2/2013; Ord. 4060 § 2 (part), 10/2012; Ord 3586 § 5 (part), 2/2008; Ord 2725 § 3, 3/2002)

A=Accessory Use C=Conditional Use P=Permitted Use S=Special Use Permit T= Administrative Temporary Use Permit Note: If box is empty, use is prohibited 30.44-29 Table 30.44-1
Uses SLUCM CODE Residential Districts Commercial Districts Manufacturing/ Industrial Districts Miscellaneous Districts R-U R-A RE R-D R-1 R-T R-2 RUD R-3 R-4 R-5 CRT C-P C-1 C-2 M-D M-1 M-2 O-S H-2 P-F RVP U-V H-1 Communication Antennas and Towers 4700 (Ord. 4077 § 9 (part), 2/2013; Ord. 4060 § 2 (part), 10/2012; Ord 3998 § 1 (part), 1/2012;Ord 3805 § 4 (part), 9/2009; Ord 3767 § 1 (part), 6/2009;Ord 3586 § 5 (part), 2/2008; Ord. 2725 § 3, 3/2002) Communication Antennas 4700 C C C C C C C C C C C C C C C C C C C C C C C C
Global Use Table

1. Design standards for all towers. (These conditions may be modified with the approval of the special use permit.)

A. Unless otherwise required as a condition of approval all towers shall be designed to accommodate more than 1 antenna array, and towers higher than 80 feet must accommodate at least 3 antenna arrays.

B. If no permanent staff is assigned to the facility, development standards regarding parking, landscaping and screening (Chapters 30.60 and 30.64) are not required; however, compliance with all dust control measures required per Clark County Air Quality Regulations shall be maintained, with the exception of:

i. Development greater than 40,000 square feet in size shall comply with the standards for screening and landscaping.

ii. Ground level equipment, buildings, and the tower or antenna base shall be screened to prevent visibility from streets and residential development.

C. Any communication tower may provide a security fence or wall subject to the design standards listed under Chapter 30.64 of this Title.

D. No signals, lights or signs shall be permitted on towers unless required by the Federal Communication Commission or Federal Aviation Administration.

E. Design.

i. All towers shall be designed to be architecturally compatible with the surrounding buildings and land uses in the zoning district, or otherwise integrated to blend in with existing characteristics of the site to the extent practical.

ii. All towers shall be painted with a color generally matching the surroundings or background that minimizes its visibility, however, a different color may be used if required by the Federal Communication Commission or Federal Aviation Administration.

F. The maximum height shall be 80 feet unless located within a public utility substation in which case the maximum height shall be 20 feet above the highest structure within the substation.

G. The following setbacks shall be required:

i. When located within a public utility substation, 10 feet minimum from street and 20 feet minimum from residential development.

ii. For all other towers:

(a) From any street: minimum 40 feet.

(b) From residential development located on a separate property than on which the tower is located:

(1) If lot is 2 ½ acres or greater: minimum distance shall be at least 300% of the height of the tower.

(2) If lot is less than 2 ½ acres: minimum distance shall be at least 200% of the height of the tower.

(3) Exception. In no case shall the setback be a distance equal to more than 75% of the width of the lot, measured from the property line that abuts or is closest to the residential development to the property line on the opposite side of the lot.

H. A minimum separation of 600 feet from another communication tower unless designed and constructed in a stealth design in a cluster.

A=Accessory Use C=Conditional Use P=Permitted Use S=Special Use Permit T= Administrative Temporary Use Permit Note: If box is empty, use is prohibited 30.44-29a Table 30.44-1 Global Use Table Uses SLUCM CODE Residential Districts Commercial Districts Manufacturing/ Industrial Districts Miscellaneous Districts R-U R-A RE R-D R-1 R-T R-2 RUD R-3 R-4 R-5 CRT C-P C-1 C-2 M-D M-1 M-2 O-S H-2 P-F RVP U-V H-1 Communication Towers 4700 S S S S S S S S S S S S S S S S S S S S S S S S
Continued

Continued from previous

2. A performance bond shall be required for all new towers, including relocated towers where a previous bond has not been accepted, in a form acceptable to the Department, or a cash deposit in lieu of the bond, in an amount sufficient to provide for removal, storage or disposal of the tower plus an additional 15% contingency and to restore the site including stabilization and re-vegetation as necessary. An estimate of the removal cost from a Clark County licensed company experienced in contracting for removal of standard components shall accompany the bond. Unless the tower is located on property owned by a governmental entity where a guarantee is in place for removal of the tower when no longer in use, a separate bond will be required for each tower regardless of owner(s) or location. All bonds shall provide for the County to collect the full amount of the guarantee if the applicant fails to maintain the guarantee. Any government entity or public utility company shall be exempt from this requirement.

3. If no bond is in place, or if the County cannot collect on a bond issued pursuant to paragraph 2 above, then the following procedure shall apply. Any abandoned or unused tower, and the associated components of the facility shall be removed within 12 months of the cessation of operations of the tower. In the event that timely removal is not performed, the County may remove or cause the removal of the tower and associated components, assess the costs of removal against the property, after notice and opportunity to be heard is provided. Before taking such action, the County must mail to the property owner a notice of the County’s intent to do so. The property owner served with such notice shall have 30 days from the date the notice is mailed to respond in writing to request a hearing before the Board to show cause why the abandoned tower and associated components should not be removed from the property at the property owner’s expense. The failure to request a hearing within 30 days shall be deemed a waiver of the right to be heard and the County may immediately cause the removal of the tower and any associated components, and may assess the costs of removal, storage and disposal against the property.

For specific development standards for a Tower, see “Communication Towers” or for an Antenna, See “Communication Antenna”

(Ord 4275 § 7 (part), 3/2015; Ord 4152 § 6 (part), 12/2013; Ord. 4077 § 9 (part), 2/2013; Ord. 4060 § 2 (part), 10/2012; Ord. 4052 § 2 (part), 9/2012; Ord 3998 § 1 (part), 1/2012; Ord 3586 § 5 (part), 2/2008; Ord. 3106 § 6 (part), 8/2004; Ord. 2907 § 6 (part), 7/2003)

Special Use Subject to: Compliance with the design, development, landscape and screening standards established in Chapters 30.40, 30.56, 30.64, and if applicable, 30.48.

In the U-V district, must be in conjunction with a mixed-use development. (Ord. 3209 § 6 (part), 3/2005)

A=Accessory Use C=Conditional Use P=Permitted Use S=Special Use Permit T= Administrative Temporary Use Permit Note: If box is empty, use is prohibited 30.44-29b Table 30.44-1 Global Use Table Uses SLUCM CODE Residential Districts Commercial Districts Manufacturing/ Industrial Districts Miscellaneous Districts R-U R-A RE R-D R-1 R-T R-2 RUD R-3 R-4 R-5 CRT C-P C-1 C-2 M-D M-1 M-2 O-S H-2 P-F RVP U-V H-1 Communication Towers 4700 S S S S S S S S S S S S S S S S S S S S S S S S
Communication Building 4700 S S S S S S S S S S S S S P P P P S S S S S

Community Residences, including Family Community Residence and Transitional Community Residence (Also commonly referred to as a “Group Home”)

Conditional Use Subject to a Zoning Compliance Application: (conditions 3 through 7 cannot be waived or varied)

1. Must maintain a minimum separation of 660 feet (measured door-to-door along the nearest pedestrian or vehicular route, whichever is shorter), from any other existing Community Residence. When there is a street, freeway, or drainage channel at least 100 feet wide between the proposed Community Residence and an existing Community Residence, the minimum separation requirement is reduced to 100 feet from property line to property line. When the population of a proposed Community Residence is of such a nature that its location must be kept confidential for it to function successfully, such as a Community Residence for victims of domestic abuse, no separation shall be required.

2. A special use permit is required to locate within 660 feet of an existing Community Residence except when the proposed Community Residence qualifies for an exception specified in subsection 1

3. If an application is submitted to locate a Community Residence within 660 feet of an existing Community Residence, the Approval Authority shall approve the application unless it determines that one or more of the following conditions would occur:

A. The building to be occupied as a Community Residence would be established or modified in a manner that would make it inconsistent with the scale and architectural character of the neighborhood;

B. The proposed Community Residence, together with existing Community Residences, would alter the residential character of the neighborhood by creating an institutional atmosphere due to the concentration of Community Residences on a block or adjoining blocks; or

C. The location is unsuitable as a result of non-compliance with conditions 4 through 8 below.

4. The Community Residence shall comply with all public health and safety requirements including Building and Fire Code requirements for the dwelling type in question.

5. If law or regulations require the proposed Community Residence to be licensed or certified, then the applicant must obtain that required license or certification before occupying the Community Residence.

6. Transitional Community Residences that house people recovering from substance abuse disorders, must require such residents to be actively and continuously enrolled in a support program including, but not limited to Alcoholics Anonymous or an equivalent program or an offsite rehabilitation program such as one supervised by a licensed medical professional or recognized treatment, and must prohibit the use of alcohol and other substances by such occupants who reside in the residence. Upon request, with reasonable notice, the Community Residence operator shall produce evidence satisfactory to the Code Enforcement Manager or Zoning Administrator that the occupants are in compliance with this condition.

7. When located in a C-1 or C-2 zoning district, a Community Residence may be established only as part of a mixed-use development.

8. The Community Residence shall not be made available to one or more individuals whose tenancy would constitute a direct threat to the health and safety of other individuals or whose tenancy would result in substantial physical damage to the property of others.

Note: If a special use permit application is submitted, the Approval Authority shall not deny a special use permit on any basis that discriminates against people with disabilities. If it deems it appropriate, the Approval Authority may continue the hearing to another date in order for Staff to consult with, or to obtain an opinion from, a person or entity with expertise in fair housing law regarding whether an approval or denial of the application is justified under State and Federal law. Except for a Community Residence, no more than 4 unrelated individuals may reside together in a dwelling unit. (Ord 4903 § 6 (part), 12/2021; Ord. 4367 § 6 (part), 2/2016; Ord. 3924 § 6 (part), 1/2011; Ord. 3757 § 5 (part), 4/2009; Ord. 3726 § 3 (part), 12/2008; Ord. 3423 § 4 (part), 8/2006)

A=Accessory Use C=Conditional Use P=Permitted Use S=Special Use Permit T= Administrative Temporary Use Permit Note: If box is empty, use is prohibited 30.44-29c Table 30.44-1
Uses SLUCM CODE Residential Districts Commercial Districts Manufacturing/ Industrial Districts Miscellaneous Districts R-U R-A RE R-D R-1 R-T R-2 RUD R-3 R-4 R-5 CRT C-P C-1 C-2 M-D M-1 M-2 O-S H-2 P-F RVP U-V H-1
1110 1115 C C C C C C C C C C C C C C C C C C
Global Use Table

Composting Facility

(Also see “Materials Recovery Facility”, “Construction and Demolition Short Term Storage Facility”, and “Recycling Center”)

Special Use in M-2 and R-U Subject to:

1. Must comply with Southern Nevada Health District (SNHD)

2. Must be set back a minimum 200 feet from any residential use

3. If within R-U must be accessory to a batch plant. This condition cannot be waived or varied

Conditional Use in M-1: Subject to “Outside Storage” conditions and SNHD requirements

Must be set back a minimum 200 feet from any residential use

(Ord. 3970 § 5 (part), 8/2011; Ord. 3757 § 5 (part), 4/2009; Ord. 3549 § 7 (part), 9/2007)

Congregate Care

(Also see “Assisted / Independent Living Facilities” and “Supportive Housing”)

Special Use Subject to:

The development standards of the district in which it is located, except as modified below.

1. The minimum size lot for such a facility shall not be less than 80,000 square feet.

2. The facility must be adjacent to, and accessed from, a collector or arterial street or a commercial complex.

3. Buildings within, or adjacent to, residential neighborhoods shall be designed with a residential appearance, such as a gabled roof with concrete tile and masonry or stucco wall construction, as may be required by the Commission or Board.

4. Accessory commercial uses for the patients and their guests may be established providing the square footage of all such uses does not exceed 10% of the gross floor area of the building, that no exterior signage for the accessory commercial uses is established, and that all commercial deliveries are made between the hours of 8:00 a.m. and 10:00 p.m.

5. Compliance with all federal, state, and local regulations for such facilities (for example, see NAC 449, NRS 449, and Title 6 of Clark County Code. (Ord. 3296 § 5 (part), 10/2005; Ord. 3055 § 4 (part), 4/2004)

Accessory Use Subject to:

1. Issuance of and compliance with applicable Building Permit(s) for the project. This condition cannot be waived or varied.

2. Removal and/or cessation upon completion of project

3. Temporary construction activities shall be on site.

Time restrictions specified in Title 30 for various temporary structures and/or activities that are not construction site-related may not apply. (Ord. 4077 § 9 (part), 2/2013; Ord. 3354 § 6 (part), 2/2006; Ord. 2741 § 7 (part), 5/2002)

A=Accessory Use C=Conditional Use P=Permitted Use S=Special Use Permit T= Administrative Temporary Use Permit Note: If box is empty, use is prohibited
Uses SLUCM CODE Residential Districts Commercial Districts Manufacturing/ Industrial Districts Miscellaneous Districts R-U R-A RE R-D R-1 R-T R-2 RUD R-3 R-4 R-5 CRT C-P C-1 C-2 M-D M-1 M-2 O-S H-2 P-F RVP U-V H-1
` 30.44-29d Table 30.44-1 Global
Use Table
6370 S C S
1200 S S S S S S S S S S S S S S S S S S S S S S S
Construction Activities, Temporary A A A A A A A A A A A A A A A A A A A A A A A A

(Also see “Materials Recovery Facility”, “Composting Facility”, and “Recycling Center”)

Construction Cleanup

(Also see “Materials Recovery Facility”, “Construction and Demolition Short Term Facility”, and “Recycling Center”)

Special Use in M-2 and Conditional Use in M-1 Subject to:

Equipment may be stored outside subject to “Outside Storage” regulations

Must be set back a minimum 200 feet from any residential use (Ord. 3970 § 5 (part), 8/2011;Ord. 3688 § 7 (part), 10/2008; Ord. 3549 § 7 (part), 9/2007)

Special Use in M-2 Subject to:

Construction or demolition waste must be removed and transported to a refuse transfer station or disposal site operated by the county or its franchisee, to a materials recovery facility, or other refuse transfer station or disposal facility legally authorized by the solid waste management authority having jurisdiction over the facility. No construction or demolition waste may be stored. These standards cannot be waived or varied. Must be set back a minimum 200 feet from any residential use

Conditional Use in M-1:

Equipment may be stored outside subject to “Outside Storage” regulations

Must be set back a minimum 200 feet from any residential use (Ord. 3970 § 5 (part), 8/2011; Ord. 3688 § 7 (part), 10/2008; Ord. 3549 § 7 (part), 9/2007)

Special Use Subject to:

1. Landscaping, trash enclosure, and screening requirements shall not apply to this use.

2. On-site paving, including parking and drive aisles, shall not be required provided all Clark County Air Quality Regulations are met.

3. A time limit for use to be discontinued shall be determined. Use is permitted outside (Ord. 3688 § 7 (part), 10/2008)

Construction Trailer/Office

(Also see “Construction Activities, Temporary”)

Ord. 3354 § 6 (part), 2/2006

A=Accessory Use C=Conditional Use P=Permitted Use S=Special Use Permit T= Administrative Temporary Use Permit Note: If box is empty, use is prohibited
Uses SLUCM CODE Residential Districts Commercial Districts Manufacturing/ Industrial Districts Miscellaneous Districts R-U R-A RE R-D R-1 R-T R-2 RUD R-3 R-4 R-5 CRT C-P C-1 C-2 M-D M-1 M-2 O-S H-2 P-F RVP U-V H-1
30.44-30 Table 30.44-1 Global Use Table
Construction and Demolition Short Term Facility
4200 C S
4200 C S
Construction Storage, Temporary 6370 S S S S S S S S S S S S S S S S S S S S S S S S

Convenience Stores

(Also see “Gasoline Station”)

( Ord. 4010 § 3 (part), 4/2012; Ord 3805 § 4 (part), 9/2009; Ord 3586 § 5 (part), 2/2008; Ord. 3472 § 7 (part), 1/2007; Ord. 2907 § 6 (part), 7/2003; Ord. 2683 § 3 (part), 11/2001)

Conditional Use in C-2 and U-V and Special Use in C-1, M-D, M-1, H-1 and H-2 Subject to:

1. Must not have less than 1,200 square feet and no more than 6,000 square feet of floor space, exclusive of warehouse and office areas, devoted to the display of merchandise.

2. Must have at least 1 restroom available for public use during all hours the store is open for business.

3. Minimum 30 foot setback for all buildings and canopies from the right-of-way line of any section line street.

4. Minimum 20 foot setback for all buildings and canopies from the right-of-way line of any non-section line street.

5. Must maintain a minimum 200 foot separation from any residential use on a separate property unless buffered from the development by an existing building.

6. If located in the U-V district, must be part of a mixed-use development (Section 30.40.310).

Note: Chapter 8.20 of the Clark County Code regulates the sale of alcohol and cannot be waived or varied (see Business License Department). (Conditions #1 & #2 cannot be waived or varied per Title 6. The Commission or Board may consider waiving conditions #3 - #6 with the approval of a special use permit.)

Note: Chapter 8.20 of the Clark County Code regulates the sale of alcohol and cannot be waived or varied (see Business License Department). Accessory use when in conjunction with resort hotel.

Conditional Use: See “Retail Sales and Service”: Conditional Use in C-P If within U-V, must be part of a mixed-use development (Section 30.40.310).

Craft Distillery (Ord 4275 § 7 (part), 3/2015; Ord 4154 § 3 (part), 12/2013)

Conditional Use in C-2, M-D and M-1 and Special Use in M-2, H-2 and H-1 subject to: Must have a minimum separation of 200 feet from any residential use unless separated by a collector or arterial street or buffered from the residential use by a building, or as determined by the Commission or Board with the approval of a special use permit.

Conditional Use in U-V must be a part of a mixed-use development (Section 30.40.310).

Accessory Use when in conjunction with a resort hotel or hotel/motel having 50 or more guest rooms.

NOTE: In all permitted zoning districts, samples of alcoholic beverages may be served or sold by the drink for on-premises consumption and bottles of spirits may be sold retail for off-premises consumption, pursuant to NRS Chapter 597.

Special Use must be located within the rural area. (This cannot be waived or varied)

Conditional Use in C-1, C-2, M-D, M-1 and M-2:

1. When located within the urban area must be set back 1500 feet from the property line of any residential use. (This cannot be waived or varied) (Ord 4154 § 3 (part), 12/2013)

A=Accessory Use C=Conditional Use P=Permitted Use S=Special Use Permit T= Administrative Temporary Use Permit Note: If box is empty, use is prohibited
Table
Uses SLUCM CODE Residential Districts Commercial Districts Manufacturing/ Industrial Districts Miscellaneous Districts R-U R-A RE R-D R-1 R-T R-2 RUD R-3 R-4 R-5 CRT C-P C-1 C-2 M-D M-1 M-2 O-S H-2 P-F RVP U-V H-1
30.44-31
30.44-1 Global Use Table
5300 S C S S S C S
Convention Facilities/Exposition Halls 7230 S S S S S S S,A
Copy Center 6300 C P P P P C S
5800 C C C S S C S,A
Crematories 6240 S S S S S S S S S S S C C C C C S S

Special Use: (These conditions cannot be waived or varied.)

1. Must be within Community District 5.

2. 40 acre minimum lot size. Animals are permitted outside.

NOTE: Landscaping and screening requirements per Table 30.64-2 (Commercial and Special Use). (Ord. 4077 § 9 (part), 2/2013)

Conditional Use in C-1 and C-2 Subject to:

1. Must be adjacent to, and accessed from, a collector or arterial street. Special use: For facility caring for over 12 children or adults subject to:

1. Must be adjacent to, and accessed from, a collector or arterial street.

2. The following development standards are required:

A. Design standards per Table 30.56-2 (Commercial/Special Development)

B. Trash enclosures and lighting per Chapter 30.56

C. Parking per Chapter 30.60

D. Landscaping and screening per Table 30.64-2 (Commercial/Special Use)

Conditional Use in U-V must be part of a mixed-use development per Section 30.40.310. Accessory Use when in conjunction with a resort hotel. (Ord. 4839 § 9 (part), 1/2021; Ord. 4077 § 9 (part), 2/2013)

Conditional Use in U-V must be part of a mixed-use development per Section 30.40.310. Accessory Use when in conjunction with a resort hotel/motel having 50 or more guest rooms. (Ord. 4429 § 2 (part), 10/2016)

Special Use Subject to: the type of facility (for example, jail, forensic facility, maximum security, prison) shall be specified in the special use permit application.

(Ord. 3688 § 7 (part), 10/2008)

Conditional Use in U-V must be part of a mixed-use development per Section 30.40.310.

A=Accessory Use C=Conditional Use P=Permitted Use S=Special Use Permit T= Administrative Temporary Use Permit Note: If box is empty, use is prohibited
Uses SLUCM CODE Residential Districts Commercial Districts Manufacturing/ Industrial Districts Miscellaneous Districts R-U R-A RE R-D R-1 R-T R-2 RUD R-3 R-4 R-5 CRT C-P C-1 C-2 M-D M-1 M-2 O-S H-2 P-F RVP U-V H-1 Dairy Farm 8150 S S
30.44-31a Table 30.44-1 Global Use Table
Daycare 6800 S S S S S S S S S S S S S C C S S S S S S S C S, A
Day Spa 6200 S P P S S S S C S,A
Detention Facility 6700 S
Diaper Service 6200 P P P C

(See also “Craft Distillery”)

Special Use in M-D, M-1 and M-2 subject to:

1. Must be set back 200 feet from any non-industrial use.

2. Must be set back 600 feet from any residential use.

3. Samples of alcoholic beverages shall not be served, nor shall alcoholic beverages be sold by the drink or sold retail by the establishment. This condition shall not be waived or varied. (Ord 4154 § 3 (part), 12/2013; Ord 4004 § 3 (part), 3/2012)

Conditional Use in M-D and M-1 and Special Use in M-2 Subject to:

1. Where abutting a residential use:

a. 150 foot setback must be maintained from the loading spaces/docks to the property line of the residential use.

b. An intense landscape buffer shall be provided per Figure 30.64-12.

c. If any street separates the proposed development and the residential use, a wall is not required.

2. Loading spaces must be screened from any street with landscaping, a building, etc.

3. Outside storage is permitted in conjunction with the principal use which is conducted indoors subject to conditions for outside storage (See “Outside Storage”).

Note: Per the definition, a Distribution Center is classified as being over 72,000 square feet. (Ord. 3635 § 6 (part), 6/2008)

Special Use in M-D and M-1 Subject to: Must be completely enclosed within a building

Special Use in M-2 Subject to: Use is permitted outside (Ord 3586 § 5 (part), 2/2008)

Conditional Use Subject to:

1. Must be in conjunction with a Special Use when in Residential Districts.

2. Placement shall not interfere with or be placed within any required parking spaces.

3. Operator contact information must be permanently posted on the exterior of the drop-off box.

4. Shall not be located within any required landscaping.

5. Donations not contained within the drop-off box shall be removed within 24 hours.

6. Drop-off box must be emptied regularly or within 48 hours upon request of owner, authorized agent, or County representative.

7. Posted notice of unacceptable items must be placed on outside of drop-off box.

8. Obtaining property owner’s consent prior to drop-off box placement. (Ord 4446 § 1, 11/2016)

A=Accessory Use C=Conditional Use P=Permitted Use S=Special Use Permit T= Administrative Temporary Use Permit Note: If box is empty, use is prohibited
Table
Uses SLUCM CODE Residential Districts Commercial Districts Manufacturing/ Industrial Districts Miscellaneous Districts R-U R-A RE R-D R-1 R-T R-2 RUD R-3 R-4 R-5 CRT C-P C-1 C-2 M-D M-1 M-2 O-S H-2 P-F RVP U-V H-1 Distillery
30.44-32
30.44-1 Global Use Table
2100 S S S
Distribution Center 6370 C C S
Document
S S S
Destruction and Recycling
Donation Drop-Off Box C C C C C C C C C C C C C C C C C C C C C C C C

Dress Maker

(Also see “Tailor”)

Special Use Subject to: Must be in conjunction with institutions such as schools, churches, etc. This condition cannot be waived or varied. Each 120 square feet, or fraction thereof, of floor area used for sleeping purposes shall be considered a separate guestroom. NOTE: Principal use shall determine landscaping and screening requirements in Chapter 30.64. (Ord. 4077 § 9 (part), 2/2013)

Conditional Use in U-V: Must be part of a mixed-use development (Section 30.40.310).

30.44-32a

A=Accessory Use C=Conditional Use P=Permitted Use S=Special Use Permit T= Administrative Temporary Use Permit
Note: If box is empty, use is prohibited
Uses SLUCM CODE Residential Districts Commercial Districts Manufacturing/ Industrial Districts Miscellaneous Districts R-U R-A RE R-D R-1 R-T R-2 RUD R-3 R-4 R-5 CRT C-P C-1 C-2 M-D M-1 M-2 O-S H-2 P-F RVP U-V H-1 Dormitory 1200 S S S S S S S S S S S S S S S S S S S S S S S
Table 30.44-1 Global Use Table
Dry Cleaner 6200 S P P P C

Dwellings

Condominium

Conditional Use: See “Retail Sales and Service”: Conditional Use in C-P If within U-V, must be part of a mixed-use development (Section 30.40.310)

Deleted (Ord. 4559 § 8 (part), 1/2018; Ord. 3848 § 7 (part), 2/2010; Ord. 3688 § 7 (part), 10/2008; Ord. 3634 § 2, 6/2008; Ord. 3406 § 2 (part), 7/2006; Ord. 3219 § 5 (part), 5/2005; Ord. 3174 § 5 (part), 1/2005)

Employee Housing 1900 S C, S S

In all referenced zoning districts: Only one kitchen allowed per unit.

Special Use in R-U Subject to: Must be in conjunction with commercial agricultural use having a minimum of 40 acres or must be in conjunction with a commercial boarding stable.

Conditional Use in R-A:

1. Must be in conjunction with agricultural use which is a minimum of 200,000 square feet (does not include commercial boarding stable).

2. Property must be a minimum of 40 acres in conjunction with a guest/horse ranch.

Special Use in R-A, and R-E: Permitted only in conjunction with a commercial boarding stable which is a minimum 160,000 square feet. (Ord. 3848 § 7 (part), 2/2010; Ord. 2907 § 6 (part), 7/2003)

A=Accessory Use C=Conditional Use P=Permitted Use S=Special Use Permit T= Administrative Temporary Use Permit Note: If box is empty, use is prohibited
Uses SLUCM CODE Residential Districts Commercial Districts Manufacturing/ Industrial Districts Miscellaneous Districts R-U R-A RE R-D R-1 R-T R-2 RUD R-3 R-4 R-5 CRT C-P C-1 C-2 M-D M-1 M-2 O-S H-2 P-F RVP U-V H-1 Dry Cleaner Office (Also see “Laundry Services”) 6200 C P P P P C S
30.44-33 Table
30.44-1 Global Use Table
Dry Cleaning Plant 6200 P P S

Special Use in C-2 Subject to: permitted only in conjunction with a mixed use development with a maximum density of 18 units per acre and compliance with all MUD-4 subdistrict requirements established in Section 30.48.770(A)(B) and (C)(3-9). This condition cannot be waived or varied, and waivers to modify height or density shall not be permitted; however, the maximum height and density may be increased pursuant to Section 30.48.770(C)(1)(b) and compliance with all MUD-4 requirements in Table 30.48-J1, subject to special use permit and design review approval

Special Use in C-1 Subject to: minimum 10 acre parcel and location within 330 feet of the intersection of 2 arterial streets, or the intersection of 1 arterial and 1 collector street, and compliance with the conditions for C-2 (above). This cannot be waived or varied. (See Section 30.48.730 for additional requirements.)

Special Use in H-1 Subject to: density requirements established in Table 30.40-7 or as permitted in Section 30.48.770(A)(B) and (C)(3-9). Waivers to modify density shall not be permitted.

Conditions listed above cannot be waived or varied.

Special Use in RUD Subject to:

1. Up to a triplex only.

2. A major subdivision map for a condominium or common interest community shall be recorded prior to issuance of building permits.

3. No increase in density (even if PUD) Conditions listed above cannot be waived or varied.

Conditional Use in U-V must be part of a mixed use development (See Section 30.40.310 and chapter 30.48, Part J). These conditions cannot be waived or varied.

Conditional Use in R-3, R-4 and R-5 (Ord. 3848 § 7 (part), 2/2010; Ord. 3472 § 7 (part), 1/2007; Ord. 3406 § 2 (part), 7/2006; Ord. 3219 § 5 (part), 5/2005; Ord. 3174 § 5 (part), 1/2005; Ord. 2741 § 7 (part), 5/2002)

A=Accessory Use C=Conditional Use P=Permitted Use S=Special Use Permit T= Administrative Temporary Use Permit Note: If box is empty, use is prohibited 30.44-34 Table 30.44-1 Global Use Table Uses SLUCM CODE Residential Districts Commercial Districts Manufacturing/ Industrial Districts Miscellaneous Districts R-U R-A RE R-D R-1 R-T R-2 RUD R-3 R-4 R-5 CRT C-P C-1 C-2 M-D M-1 M-2 O-S H-2 P-F RVP U-V H-1 Multiple-Family and Multiple-Family Dwelling Groups 1130 S C C C S S C S In all referenced zoning districts: Only one kitchen allowed per unit.

(Also see “Accessory Apartment”)

In all referenced zoning districts: Only one kitchen allowed per unit.

Special Use in R-1, R-T, R-2, RUD and R-3:

Conditional Use in U-V: Permitted only in conjunction with a mixed use development and compliance with Chapter 30.48, Part J. (Ord. 3848 § 7 (part), 2/2010; Ord. 3174 § 5 (part), 1/2005)

See Table 30.56-2A for specific design standards for single-family dwellings per zoning districts. In all referenced zoning districts: Only one kitchen allowed per unit

These conditions listed below cannot be waived or varied.

Conditional Use in H-2: Must comply with R-U development standards.

Conditional Use in U-V: Permitted only in conjunction with a mixed use development and compliance with Chapter 30.48, Part J.

Conditional Use in H-1: If within a subdivision designed for single-family dwellings recorded prior to May 1974 and subject to the restrictions of the R-D District.

Special Use in H-2: Must comply with R-2 development standards.

(Ord. 4109 § 3 (part), 7/2013;Ord. 3848 § 7 (part), 2/2010; Ord. 3174 § 5 (part), 1/2005)

Special Use in C-1 and C-2 and Conditional Use in U-V: must be part of a mixed use development (See Section 30.40.310 and Chapter 30.48, Part J).

Conditional Use in R-3, R-4 and R-5 must conform to all district regulations; otherwise only permitted with a Planned Unit Development (See Chapter 30.24). (Ord. 3219 § 5 (part), 5/2005; Ord. 3174 § 5 (part), 1/2005; Ord. 2771 § 4 (part), 7/2002)

Special Use Subject to:

1. Must be accessory to a principal dwelling. (This condition cannot be waived or varied.)

2. Time limit as specified by the Commission or Board.

3. Shall not be rented or leased.

4. Signed document agreeing to removal of kitchen or manufactured home when use is no longer needed (See “Dwelling” definition).

5. Shall not be permitted on any lot with an accessory apartment, casita or guest quarters. (This condition cannot be waived or varied.)

6. No interior access to another accessory building.

NOTES

• Health District approval for well and septic separations may be required. (See Section 30.52.100 for water restrictions.) (Ord. 4200 § 4 (part), 5/2014; Ord. 3238 § 5 (part), 7/2005; Ord. 3106 § 6 (part), 8/2004; Ord. 2741 § 7 (part), 5/2002)

A=Accessory Use C=Conditional Use P=Permitted Use S=Special Use Permit T= Administrative Temporary Use Permit Note: If box is empty, use is prohibited 30.44-35 Table
Uses SLUCM CODE Residential Districts Commercial Districts Manufacturing/ Industrial Districts Miscellaneous Districts R-U R-A RE R-D R-1 R-T R-2 RUD R-3 R-4 R-5 CRT C-P C-1 C-2 M-D M-1 M-2 O-S H-2 P-F RVP U-V H-1 Single-Family Attached 1115 S S S S S S C
30.44-1 Global Use Table
Single-Family Detached 1110 1115 C C C C C C C C C S C, S C C
Single Room Occupancy Unit 1130 C C C S S C S
Temporary Living Quarters
1130 S S S S S S S S S S

Conditional Use for Temporary Use:

1. Permitted only during the construction of residence or the reconstruction of a damaged or destroyed dwelling on the same property.

2. Building permit for the new residence, or a permit to remodel or demolish the damaged or destroyed dwelling, must be issued (this condition cannot be waived or varied for recreational vehicles used as temporary dwellings).

3. Must be set back a minimum of 5 feet from any front, side, side corner or rear property line.

4. Time Limit: 24 months from the date of building permit issued for the single-family dwelling or 30 days after the final inspection has been approved, whichever comes first.

5. Need not comply with landscaping requirements. (Ord. 3055 § 4 (part), 4/2004)

A=Accessory Use C=Conditional Use P=Permitted Use S=Special Use Permit T= Administrative Temporary Use Permit Note: If box is empty, use is prohibited
Table
Uses SLUCM CODE Residential Districts Commercial Districts Manufacturing/ Industrial Districts Miscellaneous Districts R-U R-A RE R-D R-1 R-T R-2 RUD R-3 R-4 R-5 CRT C-P C-1 C-2 M-D M-1 M-2 O-S H-2 P-F RVP U-V H-1 Temporary Dwelling 0 C C C C C C C C C C
30.44-35a
30.44-1 Global Use Table

In all referenced zoning districts: Only one kitchen allowed per unit.

Special Use only with a planned unit development.

Conditional Use in U-V: permitted only in conjunction with a mixed use development and compliance with Chapter 30.48, Part J. (Ord. 3848 § 7 (part), 2/2010; Ord. 3432 § 6 (part), 10/2006; Ord. 3174 § 5 (part), 1/2005; Ord. 2741 § 7 (part), 5/2002)

In all referenced zoning districts: Only one kitchen allowed per unit.

In all referenced zoning districts subject to:

1. If no permanent staff is assigned to the facility:

Conditional use in U-V: Permitted only in conjunction with a mixed use development and compliance with Chapter 30.48, Part J. Conditional use in R-3 (Ord. 3848 § 7 (part), 2/2010; Ord. 3174 § 5 (part), 1/2005) Electric Generating Station (Also see “Electric Generation, Distributed” or “Electric Generation, Emergency”)

a. Landscaping, trash enclosure and wall requirements shall not apply unless the facility exceeds 40,000 square feet. Then screening and landscaping shall be required.

b. On-site paving, including parking and drive aisles, shall not be required, provided all Clark County Air Quality Regulations are met.

2. A security fence/wall may be provided, including decorative walls up to 15 feet in height, in conjunction with an electric substation.

3. Development standards can be waived with special use permit.

Special Use in R-U Subject to: (Condition 2 cannot be waived or varied.)

1. Must be set back 2,000 feet from any non-industrial development.

2. Power must be generated only from renewable resources, such as wind or solar energy.

Special Use in M-2 Subject to:

1. Must be set back 1,000 feet from any non-industrial use.

2. Outside uses may be permitted subject to conditions for outside storage (See “Outside Storage”).

3. Must be set back a minimum 200 feet from any other industrial use except uses accessory to, and located upon, the same piece of property as the use

Special Use in M-D, M-1 and P-F:

1. Power must be generated only from renewable resources, such as wind or solar energy (This condition cannot be waived or varied.)

NOTE: Facilities that generate electricity greater than 50 megawatts which impact more than one jurisdiction may be required to follow the Southern Nevada Regional Planning Coalition’s (SNRPC) procedures for Regional Infrastructure Projects (see SNRPC policies). (Ord. 4266 § 3 (part), 12/2014; Ord. 4077 § 9 (part), 2/2013; Ord. 3757 § 5 (part), 4/2009; Ord. 3635 § 6 (part), 6/2008; Ord. 2794 § 2 (part), 9/2002)

A=Accessory Use C=Conditional Use P=Permitted Use S=Special Use Permit T= Administrative Temporary Use Permit Note: If box is empty, use is prohibited 30.44-35b Table 30.44-1
Uses SLUCM CODE Residential Districts Commercial Districts Manufacturing/ Industrial Districts Miscellaneous Districts R-U R-A RE R-D R-1 R-T R-2 RUD R-3 R-4 R-5 CRT C-P C-1 C-2 M-D M-1 M-2 O-S H-2 P-F RVP U-V H-1 Townhouse (See
30.24) 1115 S S S S S S C
Global Use Table
Chapter
Two Family 1120 S S C C
4800 S S S S S

Electric Generation, Emergency

(Also see “Electric Generation Station” or “Electric Generation Distributed”)

1. The distributed generation unit shall not adversely impact air quality unless the Department of Environment and Sustainability permits the impact in accordance with regulation.

2. Unless enclosed within a building designed to ensure the distributed generation unit is inaudible from any adjacent property, the distributed generation unit shall not produce noise in excess of the noise levels listed in Table 30.68-1 measured immediately adjacent to the unit and as certified by an acoustical engineer prior to permit issue for the distributed generation unit. (Once a specific distributed generation unit has been certified, other distributed generation units of the same size, make, and model may be permitted without the certification.)

3. Any associated distributed generation equipment exceeding the size of typical mechanical equipment must be screened from any street or adjacent property.

4. Distributed generation units established in conjunction with single family dwellings shall not exceed 500 kilowatts in capacity. Note: Fuel cells with a capacity greater than 50 kilowatts require an installation permit from the Clark County Fire Department. (Ord. 4760 § 21 (part), 2/2020; Ord 4008 § 29 (part), 3/2012; Ord. 3804 § 5, 9/2009; Ord. 3085 § 51 (part), 6/2004; Ord. 2794 § 2 (part), 9/2002)

Accessory Use Subject to:

1. The generator shall not adversely impact air quality unless the Department of Environment and Sustainability permits the impact in accordance with regulation. (This condition cannot be waived or varied.)

2. The generator shall be screened from any street or adjacent property. (Ord. 4760 § 21 (part), 2/2020; Ord 4008 § 29 (part), 3/2012; Ord. 3085 § 51 (part), 6/2004; Ord. 2794 § 2 (part), 9/2002)

Electric Substation

(Also see “Public Utility Structure”)

Charging stations must be permanent structures. Use is permitted outside.

(Ord. 4658 § 10 (part), 1/2019)

A=Accessory Use C=Conditional Use P=Permitted Use S=Special Use Permit T= Administrative Temporary Use Permit Note: If box is empty, use is prohibited 30.44-35c Table 30.44-1 Global
Table Uses SLUCM CODE Residential Districts Commercial Districts Manufacturing/ Industrial Districts Miscellaneous Districts R-U R-A RE R-D R-1 R-T R-2 RUD R-3 R-4 R-5 CRT C-P C-1 C-2 M-D M-1 M-2 O-S H-2 P-F RVP U-V H-1 Electric Generation, Distributed (Also see “Electric Generation,
Generation,
A A A A A A A A A A A A A A A A A A A A A A A A
Use
Station” or “Electric
Emergency”)
Accessory Use Subject to:
A A A A A A A A A A A A A A A A A A A A A A A A
Electric Vehicle Charging Station A A A A A A A A A A A A A A A A A A A A A A A A

Conditional Use in U-V must be part of a mixed-use development (Section 30.40.310).

NOTE: Landscaping and screening requirements per Table 30.64-2 (Commercial and Special Use). (Ord. 4077 § 9 (part), 2/2013)

All Uses Subject to:

Any equipment rental shall be properly transported to and from the rental facility by a vehicle adequately designed for such transport.

(Ord. 4010 § 3 (part), 4/2012; Ord. 3106 § 6 (part), 8/2004)

All Uses Subject to:

Any equipment rental shall be transported to and from the rental facility by a vehicle adequately designed for such transport.

(Ord. 4010 § 3 (part), 4/2012; Ord. 3106 § 6 (part), 8/2004; Ord. 3055 § 4 (part), 4/2004)

Conditional Use in M-D and M-1 Subject to an Administrative Design Review Application, and Special Use in C-1, C-2, and H-1, All subject to the following separations. (These conditions cannot be waived or varied) Separations shall be measured radially in all directions from the property line to the nearest property line of the uses listed below. The applicant shall provide evidence certified by a professional land surveyor licensed in the State of Nevada that demonstrates conformity with the following separation requirements. Must be located a minimum of:

1. 1,500 feet from any residential use;

2. 1,500 feet from a public library, public park or playground, daycare facilities for children, school, or place of worship.

(Ord. 4839 § 9 (part), 1/2021; Ord. 4077 § 9 (part), 2/2013; Ord 3805 § 4 (part), 9/2009; Ord. 2625 §2, 2001)

T= Administrative Temporary Use Permit

30.44-36

A=Accessory Use C=Conditional Use P=Permitted Use S=Special Use Permit
Note: If box is empty, use is prohibited
Uses SLUCM CODE Residential Districts Commercial Districts Manufacturing/ Industrial Districts Miscellaneous Districts R-U R-A RE R-D R-1 R-T R-2 RUD R-3 R-4 R-5 CRT C-P C-1 C-2 M-D M-1 M-2 O-S H-2 P-F RVP U-V H-1 Electronic Equipment Sales and Service 5900 6400 S P P P P C S
Table 30.44-1 Global Use Table
Emergency Care Facility 6510 S S S S S S S S S S S S S S S S S S S S S S S S
Equipment Sales/Rental/Service 6370 S C C S S
Equipment Sales/Rental/ServiceConstruction or Heavy Equipment 6370 C C S
Escort Bureau 3590 S S C C S

Special Use (approved by the Board) Subject to:

1. Any proposed enclosure must be approved by Clark County Animal Protection Services

2. Annual inspections by Clark County Animal Protection Services

Accessory Use when in conjunction with a resort hotel.

NOTE: The zoning district category determines the landscaping and screening requirements in Chapter 30.64. (Ord. 4960 § 19 (part), 7/2022; Ord. 4355 § 17 (part), 12/2015; Ord. 4077 § 9 (part), 2/2013; Ord. 4061 § 2, 10/2012)

Explosives

(Also see “Hazardous Materials Storage”)

Accessory commercial uses may be permitted in conjunction with the establishment including, but not limited to, shops, snack bars, lounges and restaurants, provided the accessory commercial uses are specified in a special use permit approval.

NOTE: Landscaping and screening requirements per Table 30.64-2 (Commercial and Special Use). (Ord. 4077 § 9 (part), 2/2013)

Accessory Use Subject to: (This condition cannot be waived or varied.)

Must be conducted as an accessory or secondary use to the residential dwelling, and the residential appearance of the dwelling shall not reflect or indicate that a business is operated therein.

NOTE: Regulations for Family Home are listed in NAC 432A.

(Ord. 4839 § 9 (part), 1/2021; Ord. 4367 § 6 (part), 2/2016; Ord 4152 § 6 (part), 12/2013; Ord. 3726 § 3 (part), 12/2008; Ord. 3160 § 11 (part), 11/2004)

Conditional Use in C-1 and C-2 Subject to:

1. Must be in Community District 5.

2. Outside display or storage in conjunction with a feed store is permitted subject to the C-2 conditions for “Outside Storage.” Conditional Use in M-D and M-1 Subject to the conditions for “Outside Storage.” (Ord. 4770 § 7 (part), 3/2020)

Conditional Use in C-P No drive-thru within 200 feet of any residential use.

Conditional Use in U-V must be part of a mixed-use development per Section 30.40.310. Accessory Use when in conjunction with a resort hotel or hotel/motel having 50 or more guest rooms.

A=Accessory Use C=Conditional Use P=Permitted Use S=Special Use Permit T= Administrative Temporary Use Permit
If box is empty, use is prohibited
Uses SLUCM CODE Residential Districts Commercial Districts Manufacturing/ Industrial Districts Miscellaneous Districts R-U R-A RE R-D R-1 R-T R-2 RUD R-3 R-4 R-5 CRT C-P C-1 C-2 M-D M-1 M-2 O-S H-2 P-F RVP U-V H-1 Exotic or Wild Animals 8200 S S S S S S S S S S S S S S S S S S S S S S S S, A
Note:
30.44-37 Table 30.44-1 Global Use Table
Fairground 7310 S S S S S S S S S S S S S S S S S S S S S S S
Family Daycare/Babysitting 1110 1115 A A A A A A A A A A A A A A
Farmer’s Market 5900 S S S S S S S S S S S S S S S S S S S S S S S Outside
Feed Store 5900 5400 C C C C
sales and display permitted.
Financial Services 6100 C P P S S S C S,A

Special Use in C-1, M-D, M-1, H-2, U-V, and H-1, and Conditional Use in C-2:

1. Minimum separation of 200 feet from any residential use measured along the nearest pedestrian or vehicular route from the principal door of the Financial Services, Specified to the property line of the nearest residential use.

2. In U-V, must be part of a mixed-use development (Section 30.40.310).

Waivers or variances to these conditions must be heard by the Board. See Chapter 30.16.

Accessory Use when in conjunction with a resort hotel. (Ord. 4770 § 7 (part), 3/2020; Ord. 4082 § 2, 3/2013; Ord. 4077 § 9 (part), 2/2013; Ord. 3659 § 2, 6/2008)

Conditional Use: Outside storage is permitted as a principal use subject to conditions for outside storage (See “Outside Storage”).

Conditional Use:

1. Must be located within an enclosed building except for parks within a P-F District.

2. If approved by special use permit, all structures shall be placed on impermeable surface areas only and shall be set back a minimum of 10 feet from all property lines, sidewalks, and rights-of-way. (This condition cannot be waived or varied.)

(Ord. 3160 § 11 (part), 11/2004;Ord. 2961 § 6 (part), 10/2003)

Special Use Subject to:

(Except as noted below, these conditions cannot be waived or varied)

R-A: Limited to food grown on premises only, except no meat processing or packaging.

H-1 and H-2: Must be established in conjunction with a restaurant or retail sales. Exceptions to this condition may be requested with a waiver of development standards application per Table 30.16-7.

Conditional Use Subject to:

C-1, C-2, and U-V: Must be established in conjunction with a restaurant or retail sales; and additionally for U-V, must be part of a mixed use development in compliance with Chapter 30.48, Part J. Exceptions to these conditions may be requested with a special use permit application per Table 30.16-4.

H-1: Must be established in conjunction with a resort hotel or hotel/motel having 50 rooms or more, and includes retail sales

(Ord. 3296 § 5 (part), 10/2005; Ord. 3021 § 2, 2/2004)

A=Accessory Use C=Conditional Use P=Permitted Use S=Special Use Permit T= Administrative Temporary Use Permit Note: If box is empty, use is prohibited
Uses SLUCM CODE Residential Districts Commercial Districts Manufacturing/ Industrial Districts Miscellaneous Districts R-U R-A RE R-D R-1 R-T R-2 RUD R-3 R-4 R-5 CRT C-P C-1 C-2 M-D M-1 M-2 O-S H-2 P-F RVP U-V H-1 Financial Services, Specified Check Cashing Deferred Deposit High Interest Loan Vehicle Title Loan 6100 S C S S S S S, A
30.44-38 Table 30.44-1 Global Use Table
Fire Wood Sales Lot 5900
C
Food Cart/Booth 5800 C C C C C C C C C C
Food Processing 2100 5400 S C C P P S C C, S

Conditional Use Subject to:

1. Must be in conjunction with a residential use.

2. Adults caring for children must live within the home. (Ord. 4077 § 9 (part), 2/2013; Ord. 4011 § 2 (part), 4/2012)

Special Use Subject to: For the purpose of regulating the requirements of this Title, each 120 square feet of floor area (or fraction thereof) used for sleeping purposes is considered a separate guestroom. Special Use in U-V: permitted only in conjunction with a mixed use development and compliance with Chapter 30.48, Part J. (Ord. 3174

(part), 1/2005)

Outside storage is permitted subject to the conditions for outside storage (See “Outside Storage”).

Special Use in M-2 Subject to:

1. Must be set back 1,000 feet from any non-industrial use.

2. Outside storage may be permitted as a principal use subject to compliance with requirements for outside storage.

3. Must be set back a minimum 200 feet from any other industrial use except accessory uses.

4 Shall comply with all applicable Fire and Building Code requirements for combustible liquid storage.

Special Use in M-D and M-1 Subject to:

1. Shall be limited to the storage of bulk motor oil for wholesale distribution only; and processing of motor oil products is prohibited.

2. All bulk motor oil products shall be stored indoors within double-wall storage tanks (UL 142 or equivalent).

3. Shall comply with conditions #1 and #4 for the M-2 district (above).

4. Conditions #1 and #2 shall not be waived or varied (note: Fire and Building Code requirements are not waivable). (Ord 3805 § 4 (part), 9/2009; Ord. 3688 § 7 (part), 10/2008; Ord. 3354 § 6 (part), 2/2006; Ord. 2907 § 6 (part), 7/2003)

Accessory commercial uses may be permitted in conjunction with the establishment including, but not limited to, gift shops and florists, provided the accessory commercial uses are specified in any land use application.

A=Accessory Use C=Conditional Use P=Permitted Use S=Special Use Permit
Administrative Temporary Use Permit
If box is empty, use is prohibited
Uses SLUCM CODE Residential Districts Commercial Districts Manufacturing/ Industrial Districts Miscellaneous Districts R-U R-A RE R-D R-1 R-T R-2 RUD R-3 R-4 R-5 CRT C-P C-1 C-2 M-D M-1 M-2 O-S H-2 P-F RVP U-V H-1 Foster Home, Foster Home Specialized 1110 1115 C C C C C C C C C C C C C C C C C C
T=
Note:
30.44-39 Table 30.44-1 Global Use Table
Fraternity House, Sorority House 6990 S S
§ 5
Freight Terminal 4200 P S
Fuel Storage Yard 2900 S S S
Funeral Home 6240 S S S S S S S S S S S S S P P P P S S S S S S

Furniture Sales

(Also see “Retail Sales and Service” or “Antiques”)

Accessory Use when in conjunction with retail sales of furniture. Conditional Use in M-D Subject to: Must be set back minimum 200 feet from any residential use on a separate property unless buffered from the development by an existing building.

Gasoline Station

(Also see “Convenience Store”)

Accessory Use Subject to: (These conditions cannot be waived or varied.)

1. Must be in conjunction with a residential use.

2. Time limit of 4 days each calendar half year. Sales are permitted outside. (Ord 3586 § 5 (part), 2/2008)

Conditional Use in C-2, M-D and M-1 and Special Use in C-1, H-1 and H-2 Subject to: (The Commission or Board may consider waiving these conditions with the approval of a special use permit.)

1. All overhead doors shall not face toward a public street or residential development unless screened from a street with landscaping or by another building.

2. Minimum 30 feet for all buildings and canopies from the right-of-way line of any section line street.

3. Minimum 20 feet for all buildings and canopies from the right-of-way line of any non-section line street.

4. Must be set back a minimum 200 feet from any residential use on a separate property.

5. Underground fuel tanks must be set back 1,000 feet from any well used as a source of potable water, lake or major wash unless the underground tank is constructed per the Southern Nevada Health District Department of Environmental Health’s more stringent structural requirements. (Ord. 4010 § 3 (part), 4/2012; Ord 3805 § 4 (part), 9/2009; Ord. 3472 § 7 (part), 1/2007; Ord. 2683 § 3 (part) 11/2001) Government Facilities (Also see “Public/Quasi Public Buildings”)

A=Accessory Use C=Conditional Use P=Permitted Use S=Special Use Permit T= Administrative Temporary Use Permit
If box is empty, use is prohibited
Uses SLUCM CODE Residential Districts Commercial Districts Manufacturing/ Industrial Districts Miscellaneous Districts R-U R-A RE R-D R-1 R-T R-2 RUD R-3 R-4 R-5 CRT C-P C-1 C-2 M-D M-1 M-2 O-S H-2 P-F RVP U-V H-1 Furniture Repair 2500 A A C P
Note:
30.44-39a Table 30.44-1 Global Use Table
Garage Sales 0 A A A A A A A A A A A A A A A
5500 S C C C S S

Special Use Subject to:

1. 1,000 foot setback to any equipment from an existing occupied residential dwelling on any other property.

2. Gravel pits located within Hydrographic Basins 212, 216, or 217 (see Appendix G, Map #11) shall: (These conditions cannot be waived or varied.)

A. Pave all haul roads providing access to the site included in the special use permit to satisfy load and durability requirements.

B. Service roads located within such facilities and any outside area used for parking, or storing motor vehicles, equipment, or materials shall be paved. Pave all required parking areas over 5,000 square feet. All other activities are subject to Clark County Air Quality Regulations.

3. For gravel pits/batch plants located outside of Hydrographic Basins 212, 216 or 217, haul roads need not be paved and service roads and parking areas need not be graveled unless otherwise required by the Commission or Board as a condition of the special use permit, or by Clark County Air Quality Regulations.

4. Landscaping, trash enclosure, and requirements shall not apply to this use.

5. A time limit for the use to be discontinued shall be determined by the Commission or Board. Any application for an extension of time for such special use permit shall demonstrate continued compatibility with any existing use, or proposed use approved by any land use application, within a 1,000 foot radius from any equipment utilized for the gravel pit.

6. Temporary construction storage and/or concrete/asphaltic batch plants in conjunction with the gravel pit shall be included in the special use and are subject to the same conditions.

7. Temporary construction equipment is permitted to exceed the height of the district.

8. Security fences are permitted.

9. In M-2, shall be located outside the Las Vegas Valley BLM Land Disposal Boundary and designated heavy industrial within an adopted land use plan. This condition cannot be waived or varied.

Note: Paving cannot be waived or varied for mobility impaired parking spaces and exterior access routes as required by the Building Code. Use is permitted outside. (Ord. 3679 § 1 (part), 9/2008; Ord. 2907 § 6 (part), 7/2003)

A=Accessory Use C=Conditional Use P=Permitted Use S=Special Use Permit T= Administrative Temporary Use Permit Note: If box is empty, use is prohibited
Table
Uses SLUCM CODE Residential Districts Commercial Districts Manufacturing/ Industrial Districts Miscellaneous Districts R-U R-A RE R-D R-1 R-T R-2 RUD R-3 R-4 R-5 CRT C-P C-1 C-2 M-D M-1 M-2 O-S H-2 P-F RVP U-V H-1 Gravel Pit 8500 S S
30.44-39b
30.44-1 Global Use Table

Special Use Subject to:

1. Temporary construction storage and/or concrete/asphaltic batch plants in conjunction with the gravel pit/batch plant shall be included in the special use and are subject to the same conditions.

2. Gravel pits in conjunction with major projects.

A. Gravel must be excess gravel generated in the course of grading for the major project and is only used on site.

B. 1,000 foot minimum setback to any equipment from an existing occupied residential dwelling on any other property.

C. If the property is located within Hydrographic Basins 212, 216, and 217, paved access shall be provided (See Appendix G, Map #11). This condition cannot be waived or varied.

D. Landscaping, trash enclosure, and screening requirements shall not apply to this use.

E. On-site paving, including parking and drive aisles shall not be required provided all Clark County Air Quality Regulations are met.

F. The special use permit shall be approved for a time limit of 5 years, or the time required to complete the major project, whichever comes first. Extensions of time may be considered.

3. Gravel pits in conjunction with a specified temporary construction project on a site other than the construction site.

A. If the property is located within Hydrographic Basins 212, 216, and 217, paved access shall be provided (See Appendix G, Map #11). This condition cannot be waived or varied.

B. The property shall be adequately buffered from existing residential uses as determined by the Commission or Board.

C. Landscaping, trash enclosure and wall requirements shall not apply to this use,

D. On-site paving, including parking and drive aisles shall not be required provided all Clark County Air Quality Regulations are met.

E. The special use permit shall be approved for a time limit of 2 years, or the time required to complete the construction project, whichever comes first. Extensions of time may be considered and treated as a public hearing.

F. The sale of excess gravel shall be permitted if the applicant demonstrates that such sale would decrease the overall impact of traffic on developed areas of the community.

4. Gravel pits in conjunction with a public project initiated and funded by any governmental entity.

A. If the property is located within Hydrographic Basins 212, 216, and 217, paved access shall be provided (See Appendix G, Map #11). This condition cannot be waived or varied.

B. Gravel must be excess gravel generated in the course of grading for the public project.

C. The property shall be adequately buffered from existing residential uses as determined by the Commission or Board.

D. Landscaping, trash enclosure and wall requirements shall not apply to this use.

E. On-site paving, including parking and drive aisles, shall not be required provided all Clark County Air Quality Regulations are met.

5. Temporary construction equipment is permitted to exceed the height of the district.

6. Security fences are permitted. Use is permitted outside. (Ord. 4010 § 3 (part), 4/2012; Ord. 3688 § 7 (part), 10/2008; Ord. 2907 § 6 (part), 7/2003; Ord. 2857 § 10 (part), 2/2003)

A=Accessory Use C=Conditional Use P=Permitted Use S=Special Use Permit T= Administrative Temporary Use Permit Note: If box is empty, use is prohibited 30.44-40 Table
Uses SLUCM CODE Residential Districts Commercial Districts Manufacturing/ Industrial Districts Miscellaneous Districts R-U R-A RE R-D R-1 R-T R-2 RUD R-3 R-4 R-5 CRT C-P C-1 C-2 M-D M-1 M-2 O-S H-2 P-F RVP U-V H-1 Gravel Pits, Temporary 8500 S S S S S S S S S S S S S S S S S S S S S S
30.44-1
Global Use Table

Uses

Group Care Facilities and Related

Uses

(Also see “Assisted/Independent Living Facility”, “Congregate Care”, “Community Residence” or “Supportive Housing”)

Group Home

Special Use:

When located in M-1, M-D, H-1, and H-2 when it is the primary use. Conditional Use in U-V Subject to: Must be part of a mixed-use development (Section 30.40.310).

(Ord 3586 § 5 (part), 2/2008)

Deleted

(Ord. 3423 § 4 (part), 8/2006; Ord. 3055 § 4 (part), 4/2004; Ord. 2771 § 4 (part), 7/2002)

Use C=Conditional Use
Use
Use Permit
Administrative Temporary Use Permit
If box is empty, use is prohibited
A=Accessory
P=Permitted
S=Special
T=
Note:
30.44-41
Table 30.44-1 Global Use Table
SLUCM CODE Residential Districts Commercial Districts Manufacturing/ Industrial Districts Miscellaneous Districts R-U R-A RE R-D R-1 R-T R-2 RUD R-3 R-4 R-5 CRT C-P C-1 C-2 M-D M-1 M-2 O-S H-2 P-F RVP U-V H-1 Grocery Store 5400 P P S S S C S

Table

Guest Quarters

(See “Accessory Apartment”) (Ord. 4200 § 4 (part), 5/2014)

Guest Ranch 7500 S S

Special Use Subject to:

1. Community District 5.

2. Minimum 40 acres.

3. Accessory commercial uses may be permitted in conjunction with the establishment including, but not limited to, shops, snack bars, lounges and restaurants, provided the accessory commercial uses are specified in a special use permit. Animals and related activities are permitted outside.

Conditional Use in U-V must be part of a mixed-use development (Section 30.40.310).

A=Accessory Use C=Conditional Use P=Permitted Use S=Special Use Permit

Note: If box is empty, use is prohibited

T= Administrative Temporary Use Permit

30.44-42

Uses SLUCM CODE Residential Districts Commercial Districts Manufacturing/ Industrial Districts Miscellaneous Districts R-U R-A RE R-D R-1 R-T R-2 RUD R-3 R-4 R-5 CRT C-P C-1 C-2 M-D M-1 M-2 O-S H-2 P-F RVP U-V H-1
30.44-1 Global Use Table
Gunsmith 5900 S P P P Hardware Store 5200 P P P P C

Materials/Amounts requiring a Hazardous Occupancy per the Clark County Fire Code Special Use in M-D, M -1, M -2, and P-F Subject to:

1. Must maintain all minimum separations and setbacks required by the Clark County Fire and Building Codes, and any other County Code, whichever is greater.

2. Outside storage may be permitted as a principal use subject to the applicable conditions for outside storage in addition to the requirements for hazardous materials storage (see “Outside Storage”).

3. Explosives and hazardous materials in amounts which require a special use permit pursuant to NRS 278.147 and 459.3816 (as revised) and/or the NAC shall only be permitted in M-2 and shall require public hearings before the Planning Commission and the Board per Table 30.16-4.

4. Storage areas must be paved and contained. These conditions can not be waived or varied. (Ord. 3970 § 5 (part), 8/2011; Ord. 3432 § 6 (part), 10/2006Ord. 3209 § 6 (part), 3/2005; Ord. 3106 § 6 (part), 8/2004; Ord. 2907 § 6 (part), 7/2003; Ord. 2890 § 5 (part), 4/2003)

A=Accessory Use C=Conditional Use P=Permitted Use S=Special Use Permit T= Administrative Temporary Use Permit Note: If box is empty, use is prohibited
Table 30.44-1 Global
Uses SLUCM CODE Residential Districts Commercial Districts Manufacturing/ Industrial Districts Miscellaneous Districts R-U R-A RE R-D R-1 R-T R-2 RUD R-3 R-4 R-5 CRT C-P C-1 C-2 M-D M-1 M-2 O-S H-2 P-F RVP U-V H-1 Hazardous Materials or Waste Storage Refer to SLUCM Code for underlyin g principal use S S S S
30.44-42a
Use Table

Home Improvement Center 5200

Conditional Use in U-V must be part of a mixed-use development per Section 30.40.310.

Accessory Use:

C-P, M-D, M-1: When in conjunction with a business park/office complex (not open to the public, for employees only).

H-1: When in conjunction with a resort hotel or hotel/motel having 50 or more guest rooms.

Special Use Subject to:

(These conditions cannot be waived or varied.)

1. A planning report shall be provided to the Commission and Board analyzing environmental impacts including, but not limited to, noise and noise levels, traffic generation, land use compatibility, number of daily operations, hours of operation, flight corridor, intent of the facility (tourism, medical evacuation, business, etc), and the identification of any adverse impacts to the operation of other airports. The information contained in the report shall be made part of the conditions if the special use permit is approved.

2. Evidence of Federal Aviation Administration approval of the air space and air traffic of the proposed operation.

3. A security fence or wall is permitted. Helicopters and other related uses/activities, including hot air balloons, are permitted outside.

NOTE: Landscaping and screening requirements per Table 30.64-2 (Commercial and Special Use).

(Ord. 4077 § 9 (part), 2/2013; Ord. 3113 § 5, 8/2004;Ord. 2741 § 7 (part), 5/2002)

Special Use Subject to: Conformance to the conditions established per zoning district (in this Table) for the specific land use(s) required for the project, in addition to the following:

1. Prevention or mitigation of traffic congestion and air quality impacts.

2. Functional and aesthetic integration with surrounding development and land uses (planned and existing) through design, landscape, and buffer elements, and including pedestrian connectivity when applicable.

3. Approval of high impact projects may require a development agreement to address public infrastructure and service needs as determined by the Board (Ord. 4770 § 7 (part), 3/2020; Ord. 3520 § 4, 6/2007)

Conditional Use in C-1 Subject to: No outside display or storage.

Conditional Use in C-2 and M-D Subject to: Outside display or storage in conjunction with a hardware store is permitted subject to the conditions for outside storage (See “Outside Storage”). This condition cannot be waived or varied.

Conditional Use in M-1 Subject to the conditions for outside storage (See “Outside Storage”).

A=Accessory Use C=Conditional Use P=Permitted Use S=Special Use Permit T= Administrative Temporary Use Permit Note: If box is empty, use is prohibited
Uses SLUCM CODE Residential Districts Commercial Districts Manufacturing/ Industrial Districts Miscellaneous Districts R-U R-A RE R-D R-1 R-T R-2 RUD R-3 R-4 R-5 CRT C-P C-1 C-2 M-D M-1 M-2 O-S H-2 P-F RVP U-V H-1 Health Club 7425 A P P S, A S, A C S, A
30.44-43 Table
30.44-1 Global Use Table
Heliport 4300 S S S S S S S S S S S S S S S S S S S S S S S S
High Impact Project 0 S S S S S S S S S S S S S S S S S S S S
C C C C

Conditional Use Subject to: Home Occupations other than those listed below as prohibited may be approved subject to the following conditions: (Conditions 1 through 6 cannot be waived or varied.)

1. The operator of the home occupation shall obtain and maintain a business license from the Clark County Business License Department and must be a resident of the dwelling.

2. The home occupation must be secondary to the residential use, and shall not reflect or indicate that a business is operated therein.

3. There shall be no signs or nameplates, merchandise and/or other articles displayed for advertising purposes at the home address or in the yard, except when required by NRS or NAC, or if located within Community District 5. Signs shall be limited to nameplates only (per Table 30.72-1) or per NRS or NAC

4. Unless permitted by Clark County Fire Department, there shall be no storage of hazardous materials. (See Chapter 30.08, hazardous materials storage and personal use).

5. No commercial vehicle shall be parked on site. One trailer (less than 10,000 lbs) may be permitted on site with approval of a special use permit.

6. There shall be no receipt of products or materials (except normal delivery for residence).

7. No home occupation shall be conducted outside, nor shall any outside area be used for storage

8. No on-site clients, employees or customers other than students (maximum of one student at a time) or single station beauty salon/barbershop, except as provided below:

A. When located within Community District 5, business owner must receive approval of a Zoning Compliance application per Table 30.16-17.5 (includes letters of consent from property owners within a 300-foot radius) prior to business license approval to allow customers (When located outside of Community District 5, a special use permit may be requested to allow customers.)

B. Adequate off-street parking must be demonstrated with dust control measures per Clark County Air Quality Control regulations.

9. Only family members are permitted as on-site employees except as provided below:

A. When located within community District 5, business owner must receive approval of a Zoning Compliance application per Table 30.16-17.5 (includes letters of consent from property owners within a 300-foot radius) prior to business license approval in order for the business owner to employee those other than family members. (When located outside of Community District 5 a special use permit may be requested to allow employees.)

B. Adequate off-street parking must be demonstrated with dust control measures per Clark County Air Quality Control regulations. NOTE: Commercial preparation of food must comply with all SNHD requirements as well as provisions of NRS 446.

(Continued on next page)

A=Accessory Use C=Conditional Use P=Permitted Use S=Special Use Permit T= Administrative Temporary Use Permit Note: If box is empty, use is prohibited
Table
Uses SLUCM CODE Residential Districts Commercial Districts Manufacturing/ Industrial Districts Miscellaneous Districts R-U R-A RE R-D R-1 R-T R-2 RUD R-3 R-4 R-5 CRT C-P C-1 C-2 M-D M-1 M-2 O-S H-2 P-F RVP U-V H-1 Home Occupation 1110 1115 C, S C, S C, S C, S C, S C, S C, S C, S C, S C, S C, S C, S C, S C, S
30.44-44
30.44-1 Global Use Table

30.44-1 Global Use Table

(Continued from previous page)

Prohibited Home Occupation Uses

1. Adult uses.

2. Outcall entertainment referral service.

3. Vehicle repair, paint, or body work businesses, except as permitted under Vehicle Repair within this Table.

4. Businesses involving firearms, explosives, ammunition, black powder, or gun powder, or any other weapon as regulated by NRS 202.350, except for the training in the use of weapons at an approved off-site facility.

5. Ambulance services, hospitals, medical offices, clinics and surgery centers.

6. Mobile Food Vendor.

7. Businesses involving smelting of metal.

8. Escort Bureau.

(Ord. 4839 § 9 (part), 1/2021; Ord. 4559 § 8 (part), 1/2018; Ord. 4481 § 9 (part), 5/2017; Ord. 4367 § 6 (part), 2/2016; Ord 4152 § 6 (part), 12/2013; Ord. 4077 § 9 (part), 2/2013; Ord. 4010 § 3 (part), 4/2012;Ord. 3993 § 3 (part), 12/2011; Ord. 3970 § 5 (part), 8/2011; Ord. 3766 § 3 (part), 6/2009; Ord. 3726 § 3 (part), 12/2008; Ord. 3432 § 6 (part), 10/2006; Ord. 3397 § 6 (part), 6/2006; Ord. 3209 § 6 (part), 3/2005; Ord. 3160 § 11 (part), 11/2004;Ord. 2961 § 6 (part), 10/2003; Ord. 2890 § 5 (part), 4/2003; Ord. 2746 § 1, 5/2002; Ord. 2741 § 7 (part), 5/2002)

Conditional Use in U-V must be part of a mixed-use development per Section 30.40.310.

Accessory Use when in conjunction with a resort hotel.

NOTE: Fire and Building Code requirements cannot be waived or varied.

(Ord. 4770 § 7 (part), 3/2020; Ord. 4318 § 2, 8/2015)

Horse Riding/Rental Stable 8160 C C S

Conditional Use in R-U and R-A and Special Use in R-E: (The Commission or Board may consider waiving these conditions with a special use permit.)

1. Must be minimum of 400,000 square feet.

2 Subject to the same conditions for “Boarding Stable - Commercial.” Animals and related activities are permitted outside.

A=Accessory Use C=Conditional Use P=Permitted Use S=Special Use Permit T= Administrative Temporary Use Permit
If box is empty, use is prohibited
Uses SLUCM CODE Residential Districts Commercial Districts Manufacturing/ Industrial Districts Miscellaneous Districts R-U R-A RE R-D R-1 R-T R-2 RUD R-3 R-4 R-5 CRT C-P C-1 C-2 M-D M-1 M-2 O-S H-2 P-F RVP U-V H-1 Home Occupation 1110 1115 C, S C, S C, S C, S C, S C, S C, S C, S C, S C, S C, S C, S C, S C, S
Note:
30.44-45 Table
5800 S P S S C S, A
Hookah Lounge

Hot Air Balloon

(Also see “Heliport”)

Hotel, Including Condominium Hotel 1510

Special Use Subject to:

The development standards of the district in which it is located, except as modified below:

1. The facility must be adjacent to, and accessed from, a collector or arterial street or a commercial complex.

2. Buildings within, or adjacent to, residential neighborhoods shall be designed with a residential appearance, such as a gabled roof with concrete tile and masonry or stucco wall construction, as may be required by the Commission or Board.

3. Accessory commercial uses for the patients and their guests may be established providing the square footage of all such uses does not exceed 10% of the gross floor area of the building, that no exterior signage for the accessory commercial uses is established and that all commercial deliveries are made between the hours of 8:00 a.m. and 10:00 p.m. (Ord. 4010 § 3 (part), 4/2012)

Special Use Subject to:

The development standards of the district in which it is located, except as modified below:

1. The facility must be adjacent to, and accessed from, a collector or arterial street or a commercial complex.

2. Buildings within, or adjacent to, residential neighborhoods shall be designed with a residential appearance, such as a gabled roof with concrete tile and masonry or stucco wall construction, as may be required by the Commission or Board.

3. Accessory commercial uses for the patients and their guests may be established providing the square footage of all such uses does not exceed 10% of the gross floor area of the building, that no exterior signage for the accessory commercial uses is established and that all commercial deliveries are made between the hours of 8:00 a.m. and 10:00 p.m.

4. The application for any such hospital shall specify in detail the proposed uses of the facility. Changes to the specified uses of the facility requires approval of a new Special Use Permit. (Ord. 4770 § 7 (part), 3/2020; Ord. 4528 § 1, 10/2017)

(Ord. 2741 § 7 (part), 5/2002)

Conditional Use in C-2 and U-V and Special Use in M-D and M-1:

1. Must have the minimum setbacks for property lines consistent with the yard requirements for the R-3 Multiple-Family District.

2. Within the U-V zoning district, must be part of a mixed-use development (Section 30.40.310).

3. No kitchens are permitted in guestrooms.

Permitted Use in H-1 Subject to: Kitchens, if provided, must be shown on the approved plans and considered by the Commission or Board at the hearing.

Note: Hotels having 50 or more rooms in H-1 may have accessory uses as specified under “Resort Hotel”.

(Ord. 3924 § 6 (part), 1/2011)

A=Accessory Use C=Conditional Use P=Permitted Use S=Special Use Permit T= Administrative Temporary Use Permit Note: If box is empty, use is prohibited
Uses SLUCM CODE Residential Districts Commercial Districts Manufacturing/ Industrial Districts Miscellaneous Districts R-U R-A RE R-D R-1 R-T R-2 RUD R-3 R-4 R-5 CRT C-P C-1 C-2 M-D M-1 M-2 O-S H-2 P-F RVP U-V H-1 Hospice 6510 S S S S S S S S S S S S S S S S S S S S S S S S
30.44-46 Table 30.44-1 Global Use Table
Hospital 6510 S S S S S S S S S S S S S S S S S S S S S S S S
C S S C P

Dog and Cat Conditional Use Subject to:

1. Must be accessory to a residential use.

2. Maximum number as permitted by Chapter 10.08 of Clark County Code, unless in conjunction with a Resort Hotel for safety, security or law enforcement.

Dog and Cat Special Use (approved by the Board) Subject to:

1. Must be accessory to residential principal use.

2. Owner or resident use only.

3. An additional 2 dogs or cats per every 10,000 square feet of lot area, not to exceed a maximum of 20 for total lot area.

4. In Community District 5 with minimum lot area of 80,000 square feet, 2 dogs or cats per 4,000 square feet of lot area, up to a maximum of 25.

5. No sale of dogs or cats.

Condition #5 cannot be waived or varied.

Potbellied Pigs Conditional Use Subject to:

1. Potbellied pigs are permitted only as follows:

A. Must be accessory to residential principal use.

B. Owner or resident use only.

C. Maximum number of potbellied pigs maintained on any lot shall not exceed the following:

i. 1 potbellied pig for any lot less than 13,200 square feet in area.

ii. 2 potbellied pigs for any lot less than 20,000 square feet but greater than or equal to 13,200 square feet in area.

iii. 3 potbellied pigs for any lot less than 40,000 square feet but greater than or equal to 20,000 square feet in area.

iv. 6 potbellied pigs for any lot 40,000 square feet or greater in area.

Animals are permitted outside (Ord. 4658 § 10 (part), 1/2019; Ord. 4355 § 17 (part), 12/2015; Ord. 4010 § 3 (part), 4/2012; Ord 3771 § 4, 6/2009; Ord 3586 § 5 (part), 2/2008)

A=Accessory Use C=Conditional Use P=Permitted Use S=Special Use Permit T= Administrative Temporary Use Permit Note: If box is empty, use is prohibited
Table
Uses SLUCM CODE Residential Districts Commercial Districts Manufacturing/ Industrial Districts Miscellaneous Districts R-U R-A RE R-D R-1 R-T R-2 RUD R-3 R-4 R-5 CRT C-P C-1 C-2 M-D M-1 M-2 O-S H-2 P-F RVP U-V H-1 Household Pet (Also see “Kennel”) 0 C,S C,S C,S C,S C,S C,S C,S C,S C,S C,S C,S C,S C,S C,S C,S C,S C,S C,S C,S C,S C,S C,S C,S C,S
30.44-47
30.44-1 Global Use Table

(Also

Special Use (approved by the Board) Subject to:

1. Any proposed enclosure must be approved by Clark County Animal Protection Services

2. Annual inspections by Clark County Animal Protection Services.

Accessory Use when in conjunction with a resort hotel.

Use is permitted outside subject to the provisions in Title 10 of Clark County Code.

Note: Compliance with Title 10 of Clark County Code is required. (Ord. 4960 § 19 (part), 7/2022; Ord. 4355 § 17 (part), 12/2015)

Special Use subject to:

1. Must be in accordance with NRS 369 and 597.

2. Samples of wine produced on site may be served.

3. Wine shall not be packaged and sold for retail by the facility.

4. The facility shall only distribute wine to an individual who participated directly in the process of wine making on the premises of the facility for the person’s own household or personal use.

Conditions #1, 3 and 4 shall not be waived or varied. (Ord 4004 § 3 (part), 3/2012; Ord. 3397 § 6 (part), 6/2006)

Interim Package Wastewater Treatment Plant

Deleted (Ord. 4559 § 8 (part), 1/2018; Ord. 3518 § 9 (part), 5/2007)

A=Accessory Use C=Conditional Use P=Permitted Use S=Special Use Permit T= Administrative Temporary Use Permit Note: If box is empty, use is prohibited
Uses SLUCM CODE Residential Districts Commercial Districts Manufacturing/ Industrial Districts Miscellaneous Districts R-U R-A RE R-D R-1 R-T R-2 RUD R-3 R-4 R-5 CRT C-P C-1 C-2 M-D M-1 M-2 O-S H-2 P-F RVP U-V H-1 Ice and Cold Storage Plant 6370 P P S Individual Instruction
30.44-47a Table 30.44-1 Global Use Table
Occupation”) Inherently Dangerous Exotic or Wild Animals 8200 S S S S S S S S S S S S S S S S S S S S S S S S, A
see “Home
Instructional Wine-Making Facility 2100 S S S

Janitorial Service

(Also see “Home Occupation”)

Jewelry Making - Excluding Smelting of Metal

(Also see “Home

Deleted (Section 30.40.310). (Ord. 4839 § 9 (part), 1/2021)

Conditional Use in C-1, C-2 and U-V and Special Use in H-1 Subject to: (These conditions cannot be waived or varied.)

1. Must be in conjunction with retail jewelry sales.

2. No mass production, custom jewelry making only.

Conditional Use in U-V must be part of a mixed-use development (Section 30.40.310).

Conditional Use in U-V must be part of a mixed-use development (Section 30.40.310).

Accessory Use when in conjunction with a resort hotel or hotel/motel having 50 or more guest rooms. (Ord. 4678 § 1, 4/2019)

(Also see “Veterinary Service”)

Conditional Use in M-D:

1. No outside kennels.

2. Subject to all Clark County Animal Protection Services regulations. (This condition cannot be waived or varied)

Conditional Use in M-1:

1. Outside kennels are permitted provided there is a minimum setback of 500 feet from any residential use.

2. Subject to all Clark County Animal Protection Services regulations. (This condition cannot be waived or varied)

Special Use in C-2, U-V:

1. No outside kennels,

2. Subject to all Clark County Animal Protection Services regulations. (This condition cannot be waived or varied)

3. When in U-V, must be part of a mixed-use development per Section 30.40.310. (Ord. 4960 § 19 (part), 7/2022; Ord. 3635 § 6 (part), 6/2008)

Conditional Use in U-V must be part of a mixed-use development (Section 30.40.310). (Ord. 4770 § 7 (part), 3/2020) Laboratory,

Special Use Subject to: The requested use of the laboratory must be specified in the special use permit application.

A=Accessory Use C=Conditional Use P=Permitted Use S=Special Use Permit T= Administrative Temporary Use Permit Note: If box is empty, use is prohibited
Uses SLUCM CODE Residential Districts Commercial Districts Manufacturing/ Industrial Districts Miscellaneous Districts R-U R-A RE R-D R-1 R-T R-2 RUD R-3 R-4 R-5 CRT C-P C-1 C-2 M-D M-1 M-2 O-S H-2 P-F RVP U-V H-1
30.44-48 Table 30.44-1 Global Use Table
5900 1110 C C P P C S
Occupation”)
Jewelry Repair 5900 P P P P C S
Jewelry 5900 S P P S S S C S, A
Jewelry Sales - Including the Sale of Secondhand
Kennel
8200 S C C S
Kiosk/Information (Outdoor) 4700 S S S Laboratory, Medical/Dental 6510 P P P P P C
Experimental
2800 S S S

Table

Land Sales Presentation Unit Broker Office

(Also see “Office”)

Large Scale Retail Business

Accessory Use in H-1 when incidental to a resort hotel or hotel/motel having 20 or more guest rooms. This condition cannot be waived or varied. All others, See “Office”. (Ord. 2857 § 10 (part), 2/2003)

DELETED (Ord. 4770 § 7 (part), 3/2020; Ord. 3357 § 4 (part), 3/2006; Ord. 3209 § 6 (part), 3/2005)

A=Accessory Use C=Conditional Use P=Permitted Use S=Special Use Permit T= Administrative Temporary Use Permit
Note: If box is empty, use is prohibited 30.44-49
Uses SLUCM CODE Residential Districts Commercial Districts Manufacturing/ Industrial Districts Miscellaneous Districts R-U R-A RE R-D R-1 R-T R-2 RUD R-3 R-4 R-5 CRT C-P C-1 C-2 M-D M-1 M-2 O-S H-2 P-F RVP U-V H-1
30.44-1 Global Use Table
A

Locksmith 6400

Lodging House

(Also see “Boarding House”)

Lodging, Long/Short Term 1510

Conditional Use in U-V must be part of a mixed use development (Section 30.40.310).

Special Use in Residential Zones, R-V-P, H-1 and H-2 Subject to same conditions for accessory commercial. The conditions for accessory commercial cannot be waived or varied.

Use in Residential Zones, R-V-P, H-1 and H-2 Subject to same conditions for accessory commercial. The conditions for accessory commercial cannot be waived or varied.

Conditional Use in U-V must be part of a mixed-use development (Section 30.40.310).

Conditional Use in U-V must be part of a mixed-use development (Section 30.40.310).

NOTE: Landscaping and screening requirements per Table 30.64-2 (Commercial and Special Use). (Ord.

Special Use Subject to:

1. Must be accessory to a commercial or recreational use.

2. 500 foot minimum separation from any residential use when conducted outdoors.

Accessory Use:

1. Must be in conjunction with a resort hotel or hotel/motel having 50 or more guest rooms.

2. 500 foot minimum separation from any residential use when conducted outdoors.

3. Must be accessed from inside the hotel. Does not include adult uses.

Note: Chapter 8.20 of the Clark County Code regulates the sale of alcohol and cannot be waived or varied (see Business License Department.) Must follow “On-Premises Consumption of Alcohol” regulations, if applicable. (Ord 4275 § 7 (part), 3/2015; Ord. 3432 § 6 (part), 10/2006; Ord. 3160 § 11 (part), 11/2004)

Conditional Use in U-V must be part of a mixed-use development (Section 30.40.310)

Special use in C-2, M-D, M-1, U-V and H-1 subject to:

1. Providing units with a kitchen suitable for non-transient occupancy. This condition cannot be waived or varied. (Ord. 4658 § 10 (part), 1/2019; Ord. 3946 § 2, 5/2011)

A=Accessory Use C=Conditional Use P=Permitted Use S=Special Use Permit
Administrative Temporary Use Permit
If box is empty, use is prohibited
Uses SLUCM CODE Residential Districts Commercial Districts Manufacturing/ Industrial Districts Miscellaneous Districts R-U R-A RE R-D R-1 R-T R-2 RUD R-3 R-4 R-5 CRT C-P C-1 C-2 M-D M-1 M-2 O-S H-2 P-F RVP U-V H-1 Laundromat 6200 S S S S S S S S S S S P P P P S S C S
T=
Note:
30.44-50 Table 30.44-1 Global Use Table
Laundry Service 6200 S S S S S S S S S S S S P P P P S S C S Special
Library 7110 S S S S S S S S S S S S S P P S S S S P S C S
§ 9
Live Entertainment 0 S S S S S S S S S S S S S S S S S S S S S S S,A
4077
(part), 2/2013)
S P P P S C S
S S S S S

Lounge (Also see “Alcohol, Onpremises Consumption”)

(Ord 4275 § 7 (part), 3/2015; Ord 3586 § 5 (part), 2/2008)

Lumber Yard

(Also see “Home Improvement Center”)

Accessory Use to each business or tenant within commercial or industrial development, manufactured home parks, and recreational vehicle parks, Subject to:

1. If the development has only one manager’s unit, the unit shall not exceed 50% of the commercial or industrial use.

2. If the development has more than one manager’s unit, the following requirements shall be satisfied:

a. each unit shall be limited to a maximum area of 800 square feet (studio or one-bedroom units only);

b. each unit shall be located in the same building as the commercial or industrial tenant;

c. the maximum square footage of all units combined shall not exceed 25% of the total square footage of the development; and

d. each unit shall provide interior access to the commercial or industrial building or unit.

3. A manager’s unit shall be occupied by the owner, lessee, or employee of owner or lessee, and shall not be subdivided or rented separately from the principal use. (This condition cannot be waived or varied.)

4. Sound attenuation as required per Chapter 30.48 Part A when located within the Airport Environs Overlay District.

5. Projects that do not conform to conditions #1 and #2 shall be considered a mixed-use development and shall comply with all applicable requirements established in Chapter 30.48 Part J. If a Special Use Permit is approved, the project shall demonstrate compliance with Chapter 30.48 Part J to the greatest extent possible.

Conditions #3 and #4 cannot be waived or varied for projects located within the Airport Environs or CMA Area Overlay Districts

(Ord. 4494 § 1, 7/2017; Ord. 3229 § 8 (part), 6/2005)

Manufactured Home Assembly/Repair 3900 S C S

Conditional Use in M-1 and Special Use in M-D Subject to: Outside storage of manufactured homes is permitted subject to the conditions for outside storage.

A=Accessory Use C=Conditional Use P=Permitted Use S=Special Use Permit T= Administrative Temporary Use Permit Note: If box is empty, use is prohibited
Uses SLUCM CODE Residential Districts Commercial Districts Manufacturing/ Industrial Districts Miscellaneous Districts R-U R-A RE R-D R-1 R-T R-2 RUD R-3 R-4 R-5 CRT C-P C-1 C-2 M-D M-1 M-2 O-S H-2 P-F RVP U-V H-1
30.44-51 Table 30.44-1 Global Use Table
Order Puzzle Contest 0 S Manager’s Unit 1900 A A A A A A A A A A A A
Mail

Manufactured Home Sales 5500

Manufacturing, Asphalt

Conditional Use in R-T Subject to:

1. Permanently marked lot lines at each corner of lot which may be relocated subject to the total number of lots remaining the same.

2. Lot numbers on each home.

3. Park operator(s) shall maintain the park, enforce the Clark County Code and provide a list of tenant addresses on January 15 and July 15 each year to the Zoning Administrator.

4. Post a permanent, illuminated map of the park large enough to be easily read by anyone entering the park (mobile or foot), showing streets, lot numbers as marked, and the operator’s name, office hours, office mailing address, after-hours emergency phone number(s) and those responsible for his duties in his absence.

5 Display the following in Office: 1) County Business License; 2) Southern Nevada Health District Permit; and 3) a master meter plan of the park showing lines and valves to respond to outages (legal non-conforming parks only) and park district requirements.

Special Use in R-4 and R-5 Subject to:

1. Must be located in a qualified opportunity zone or in an area subject to an approved redevelopment plan, which cannot be waived or varied.

2. Must be a certified affordable housing project.

3. Shall comply with manufactured home construction and safety standards per 24 CFR Part 3280 with year of construction 2022 or newer.

4. Minimum size of each manufactured home must be equal to or greater than 400 square feet.

5. Dwelling unit homesite area shall be 750 square feet or greater.

6. Maximum density of 25 dwelling units per acre.

7. Open space (not including paved areas) must equal 200 square feet per dwelling unit

8. Shall provide at least three distinct amenities within the community which may consist of, without limitation, a community clubhouse, pool, playground, sports court (e.g. basketball or pickleball court), dog park, or walking path/exercise trail.

9. Common areas shall be professionally maintained by a property management company or homeowners’ association.

10. No recreational vehicles allowed.

11. No transient housing permitted.

12. Parking: Non-age restricted – 2 parking spaces per unit

Age restricted – 1 parking space per unit

Visitor parking – 1 space per every 15 units

13 All other standards of the R-T zoning district apply. (Ord 4915 § 1, 2/2022; Ord. 3472 § 7 (part), 1/2007)

Outside sale and display is permitted.

(Also see “Batch Plant”) (Ord 3586 § 5 (part), 2/2008; Ord. 2907 § 6 (part), 7/2003; Ord. 2857 § 10 (part), 2/2003)

S S P

A=Accessory Use C=Conditional Use P=Permitted Use S=Special Use Permit T= Administrative Temporary Use Permit Note: If box is empty, use is prohibited 30.44-52 Table
Uses SLUCM CODE Residential Districts Commercial Districts Manufacturing/ Industrial Districts Miscellaneous Districts R-U R-A RE R-D R-1 R-T R-2 RUD R-3 R-4 R-5 CRT C-P C-1 C-2 M-D M-1 M-2 O-S H-2 P-F RVP U-V H-1 Manufactured Home Parks 1410 1420 C S S
30.44-1 Global Use Table

Subject to: Being set back a minimum 200 feet from any residential use on a separate property. (Ord. 3970 § 5 (part), 8/2011; Ord 3586 § 5 (part), 2/2008)

1. Must be set back 1,000 feet from any non-industrial use.

2. Outside storage and outside manufacturing is permitted as a principal use subject to conditions for outside storage (See “Outside Storage”).

3. Must be set back a minimum 200 feet from any other industrial use except accessory uses

Conditional Use in M-D Subject to: All manufacturing must be done indoors. (This condition cannot be waived or varied)

Conditional Use in M-1 and M-2 Subject to: Manufacturing may be permitted outdoors subject to:

1. Must be set back 200 feet from any non-industrial use.

2. Must be set back 600 feet from any residential use.

3. Subject to the conditions for outside storage within M-1. (see “Outside Storage”)

1. Must be set back 600 feet from any non-industrial use.

2. Outside storage and outside manufacturing is permitted as a principal use subject to conditions for outside storage (See “Outside Storage”).

Use: Must be set back 600 feet from any non-industrial use. (Ord 3586 § 5 (part), 2/2008)

3586 § 5 (part), 2/2008)

A=Accessory Use C=Conditional Use P=Permitted Use S=Special Use Permit T= Administrative Temporary Use Permit
If box is empty, use is prohibited
Uses SLUCM CODE Residential Districts Commercial Districts Manufacturing/ Industrial Districts Miscellaneous Districts R-U R-A RE R-D R-1 R-T R-2 RUD R-3 R-4 R-5 CRT C-P C-1 C-2 M-D M-1 M-2 O-S H-2 P-F RVP U-V H-1 Manufacturing, Furniture 2500 C P S
Note:
30.44-52a Table 30.44-1 Global Use Table
Manufacturing, Heavy 2300 2600 2800 2900 3100 3300 3900 S Special Use Subject to:
Manufacturing, Light 2200 2300 2400 2500 2600 2700 3100 3200 3400 3500 3900 C C C
Manufacturing, Medium 2200 2300 3200 3900 S S Special Use Subject to:
Manufacturing, Pharmaceutical 3900 S S S Special
Manufacturing, Sign 3900 P P (Ord

All Massage Establishments (Principal and Accessory), but excluding those operating on the premises of a resort hotel as defined in 30.08, shall be limited to the hours of operation from 8 a.m. to 9 p.m.

Special Use in C-2, U-V and H-1when a principal use Subject to:

1. A minimum 200 foot setback from any residential use.

2. A 1,000 foot separation between each use. Within the U-V district, must be part of a mixed-use development (See Section 30.40.310 and Chapter 30.48 Part J).

Accessory Use Subject to:

1. Operating in conjunction with a resort hotel, health club, country club, golf course and accompanying club house, or retreat and a maximum of 25% of public floor area to be used for massage; or

2. Operating in conjunction with a beauty salon or day spa providing a minimum of three beauty salon/day spa services and a maximum of 25% of public floor area to be used for massage; or

3. Operating in conjunction with a state licensed health care provider as defined in NRS 629.031; or

4. Operating in conjunction with a massage school as part of the curriculum of the school per Chapter 394 Nevada Administrative Code.

NOTE:

• None of the requirements within these subsections can be waived or varied.

• Not permitted in conjunction with adult uses. See “Adult Uses”

• Chapter 7.08 of the Clark County Code regulates massage and prohibits massage in conjunction with alcohol sales and/or consumption, which cannot be waived or varied (see Business License Department). (Ord. 4429 § 2 (part), 10/2016; Ord. 4194 § 3 (part), 4/2014; Ord. 3970 § 5 (part), 8/2011; Ord. 3645 § 1 (part), 6/2008; Ord. 3296 § 5 (part), 10/2005; Ord. 2711 § 1, 1/2002)

A=Accessory Use C=Conditional Use P=Permitted Use S=Special Use Permit T= Administrative Temporary Use Permit Note: If box is empty, use is prohibited 30.44-53 Table
Global
Uses SLUCM CODE Residential Districts Commercial Districts Manufacturing/ Industrial Districts Miscellaneous Districts R-U R-A RE R-D R-1 R-T R-2 RUD R-3 R-4 R-5 CRT C-P C-1 C-2 M-D M-1 M-2 O-S H-2 P-F RVP U-V H-1 Massage
see “Reflexology” and “Reflexology Establishment”) 1110 6510 A A A A A S,A A A A S, A S,A
30.44-1
Use Table
(Also

Table 30.44-1 Global Use Table

Materials Recovery Facility

(Also see “Construction and Demolition Short Term Facility”, “Composting Facility” or “Recycling Center”)

Special Use in M-1 and M-2 Subject to:

1. Must be set back 600 feet from any non-industrial use.

2. A minimum 5 acre site is required.

3. Outside storage for processed recyclable material only is permitted subject to all restrictions for outside storage, including screening and landscaping.

4. Any outside area used for parking, maneuvering, or storing motor vehicles, equipment, or materials must be paved.

5. Must not conflict with any franchise agreement and must comply with all the requirements of Title 9 of the Clark County Code.

6. Processed recyclable material stored outside shall not be bundled in packages which exceed the height of the required screening.

7. Processed recyclable material shall not be stored outside more than three months and shall not exceed 3,000 cubic yards at any time.

8. An enclosed building with a paved surface and a drain to the sanitary sewage system is required.

9. No putrescible waste is permitted on the site, and any “de-minimis” putrescible waste must be removed within 24 hours.

10. Recyclable material must be baled sufficiently secure as to ensure no material is separated from the bale by adverse weather conditions.

11. Must comply with all odor control requirements per Clark County Air Quality Regulations. Conditions 3 through 11 cannot be waived or varied.

(Also see “Office”)

A=Accessory Use C=Conditional Use P=Permitted Use S=Special Use Permit T= Administrative Temporary Use Permit Note: If box is empty, use is prohibited
Uses SLUCM CODE Residential Districts Commercial Districts Manufacturing/ Industrial Districts Miscellaneous Districts R-U R-A RE R-D R-1 R-T R-2 RUD R-3 R-4 R-5 CRT C-P C-1 C-2 M-D M-1 M-2 O-S H-2 P-F RVP U-V H-1
30.44-54
6370 S S
(Ord. 4077 § 9 (part), 2/2013; Ord. 3970 § 5 (part), 8/2011; Ord. 3854 § 1, 3/2010; Ord. 3549 § 7 (part), 9/2007; Ord. 3257 § 3 (part), 7/2005) Medical

Mini-Warehouse 6370

Special Use in R-U, M-1 and M-2:

1. 1,000 foot setback to the excavation, tailing or equipment from an existing occupied residential dwelling on any other property.

2. Mining facilities located within Hydrographic Basins 212, 216 or 217 (see Appendix G, Map #11) shall: (These conditions cannot be waived or varied.)

A. Pave all haul roads providing access to the site, located on public access easements, dedicated right-of-way, or other portions to meet load and durability requirements per Clark County standards. Pave all required parking areas over 5,000 square feet. All other activities are subject to Clark County Air Quality Regulations.

B. Service roads located within such facilities and any outside area used for parking, or storing motor vehicles, equipment, or materials shall be paved.

3. Mining facilities located outside of Hydrographic Basins 212, 216 or 217 described above, haul roads need not be paved and service roads and parking areas need not be graveled unless otherwise required by the Commission or Board as a condition of the special use permit, or by Clark County Air Quality Regulations

4. Landscaping, trash enclosure and screening wall requirements shall not apply to this use

5. An extension of time application shall demonstrate continued compatibility with any existing use, or proposed use approved by any land use application, within a 1,000 foot radius from any equipment utilized for the mine.

6. In M-1and M-2 must be located outside of the Las Vegas Valley BLM Land Disposal Boundary and designated heavy industrial within an adopted land use plan. This condition cannot be waived or varied.

Note: Paving cannot be waived or varied for mobility impaired parking spaces and exterior access routes as required by the Building Code. Use is permitted outside. (Ord. 4010 § 3 (part), 4/2012;Ord. 3679 § 1 (part), 9/2008; Ord 3586 § 5 (part), 2/2008; Ord. 2907 § 6 (part), 7/2003)

Conditional Use in U-V must be part of a mixed-use development per Section 30.40.310.

Mobile Food Vendors Refer to SLUCM for underlying principal use

Mobile Homes (see “Dwelling – Single-Family Detached”) (Ord. 4109 § 3 (part), 7/2013)

All Uses subject to:

The operator must be in conjunction with a catering, restaurant, supper club business, or commissary/servicing area only. (See NAC 446 for servicing area)

This condition cannot be waived or varied. (Ord. 4658 § 10 (part), 1/2019; Ord. 4010 § 3 (part), 4/2012;Ord. 3688 § 7 (part), 10/2008; Ord. 3472 § 7 (part), 1/2007)

A=Accessory Use C=Conditional Use P=Permitted Use S=Special Use Permit T= Administrative Temporary Use Permit Note: If box is empty, use is prohibited
Uses SLUCM CODE Residential Districts Commercial Districts Manufacturing/ Industrial Districts Miscellaneous Districts R-U R-A RE R-D R-1 R-T R-2 RUD R-3 R-4 R-5 CRT C-P C-1 C-2 M-D M-1 M-2 O-S H-2 P-F RVP U-V H-1 Mines/Mining 8500 S S S
30.44-55 Table 30.44-1 Global Use Table
S P P P C
A A A A A A

Conditional Use:

1. Number of models for each development (prior to the recordation of a subdivision map):

A. Single-family units: 6 model residences or, for an overall single-family detached development (area within an approved tentative map), 300 acres or larger – 1 unit per 20 acres, maximum 20 model residences.

B. Multi-family, or manufactured home units within a manufactured home park: 8 model residences.

C. Recreational park trailers, permitted only in recreational vehicle parks where recreational park trailers are established or proposed: 8 model residences. (This condition cannot be waived or varied.)

2. Time Limit. Models must be converted to a residential use when the last home in the development has been sold. The time limit does not apply to models located within apartment complexes or manufactured home parks, provided the residential character of the model is maintained, and all manufactured homes are properly installed.

3. Models constructed prior to the recording of a subdivision map.

A. A final map technical review must be submitted for the location where the residences will be located and off-site improvement bonds have been posted for the model residence complex This condition cannot be waived or varied.

B. Paved access and adequate access controls must be provided to all structures, as required by Chapter 30.60.

C. The final map must record within 1 year from the date permits are issued for the uses.

D. The final map may not be revised after the permits for the models or units have been issued, except with County approval.

E. The models or lots within the proposed subdivision may not be sold separately until the final subdivision map has been recorded.

F. The model residence must meet the minimum setbacks required from the future lot lines to be established by the subdivision as required by code.

G. The issuance of a permit for construction will not be construed as a commitment by the County to record the final map or to approve any zoning matter.

H. Block walls are permitted on the proposed lot lines.

4. The model residences need not be built in the subdivision, nor have to be built by the same builder/developer of the remainder of the subdivision.

5. Fencing may occur and off-site improvements may be temporarily waived for a public street with the following conditions:

A. Road closure must be approved by the Director of Public Works.

B. Bonding for full off-site improvements must be posted: (This condition cannot be waived or varied.)

C. Street area to be covered with landscaping;

D. Upon sale of models, street must be improved to Clark County standards.

Accessory Use in C-1, C-2, H-1, M-D and M-1: Must be in conjunction with a real estate, architects or designers office. (Ord. 4109 § 3 (part), 7/2013; Ord 3859 § 7, 6/2010; Ord 3805 § 4 (part), 9/2009; Ord 3586 § 5 (part), 2/2008; Ord. 3397 § 6 (part), 6/2006; Ord. 2769 § 87, 7/2002; Ord. 2737 § 2, 4/2002)

A=Accessory Use C=Conditional Use P=Permitted Use S=Special Use Permit T= Administrative Temporary Use Permit Note: If box is empty, use is prohibited 30.44-56 Table
Uses SLUCM CODE Residential Districts Commercial Districts Manufacturing/ Industrial Districts Miscellaneous Districts R-U R-A RE R-D R-1 R-T R-2 RUD R-3 R-4 R-5 CRT C-P C-1 C-2 M-D M-1 M-2 O-S H-2 P-F RVP U-V H-1 Model Residences (Also see “Temporary Sales Office”) 1110 1115 C C C C C C C C C C C S A A A A C C C,A
30.44-1 Global Use Table

Special Use:

1. Any special use permit for a private monorail shall only be approved by the Board after receipt of the recommendation of the Commission and concurrent with the approval of a franchise agreement as provided under Chapter 5.04 of the Clark County Code (Franchised Monorail Transportation Systems).

2. Conditions shall apply to associated passenger terminals, power propulsion systems, parking lots, maintenance facilities and other accessory land and buildings contained in the application submittal.

3. Accessory commercial uses are permitted in conjunction with the system and shall be specified in a special use permit application.

4. Structures shall be designed to be architecturally compatible with existing buildings and structures in the vicinity of the system and are permitted at heights greater than otherwise permitted by this Title providing the height of such structures is specified in the special use permit application.

5. Site development standards, including yard setbacks, building separation or location required may be reduced or eliminated.

6. Ground level equipment, power propulsion systems and maintenance facilities shall be screened from streets and residential development as follows:

A. Must be screened with decorative block wall not to exceed 10 feet in height and/or landscaping sufficient to screen the facility as determined by the Commission or Board.

B. If the height of the wall exceeds 6 feet, a notarized letter of approval shall be obtained from the owner of an adjacent developed property

7. Signs are permitted as follows:

A. On buildings subject to the requirements of Chapter 30.72.

B. On passenger cars subject to the requirements of Chapter 14.10 (Signs on Motor Vehicles in the Public Right-of-Way) of the Clark County Code. For the purpose of Chapter 14.10 a passenger car shall be considered to be a motor vehicle.

C. Except for signs permitted under Chapter 30.72, signs are not permitted upon the rail or guideway.

8. The approval of the special use permit does not give the applicant the right to use the property of any other person without the property owner’s express written consent and may not serve as the basis to compel Clark County to use its power of eminent domain to acquire the property of non-consenting owners.

Monument Sales 5900 P P P

Outside sale and display is permitted.

Mortuary (Also see “Funeral Home”)

A=Accessory Use C=Conditional Use P=Permitted Use S=Special Use Permit T= Administrative Temporary Use Permit Note: If box is empty, use is prohibited 30.44-57
Uses SLUCM CODE Residential Districts Commercial Districts Manufacturing/ Industrial Districts Miscellaneous Districts R-U R-A RE R-D R-1 R-T R-2 RUD R-3 R-4 R-5 CRT C-P C-1 C-2 M-D M-1 M-2 O-S H-2 P-F RVP U-V H-1 Monorail 4100 S S S S S S S S S S S S S S S S S S S S S S S S
Table 30.44-1 Global Use Table

Neighborhood Casino

Conditional Use in C-2, U-V, and H-1 and Special Use in M-D and M-1:

1. Must have the minimum setbacks for property lines consistent with the yard requirements for the R-3 Multiple-Family District.

2. Kitchens, if provided, must be shown on the approved plans and considered by the Commission or Board at the hearing.

3. Within the U-V zoning district, must be part of a mixed-use development (Section 30.40.310). Motels having 50 or more rooms in H-1, may have accessory uses as specified under “Resort Hotel”.

With no public viewing areas and no on-premises consumption of alcohol: Conditional Use in M-D and M-1 subject to:

1. Administrative design review approval.

2. Permitted only within an enclosed building.

3. No live viewing by members of general public.

4. No public seating areas.

5. No on-premises consumption of alcohol. (These conditions cannot be waived or varied). Non adult use with public viewing areas:

Special Use in M-D and M-1 and Accessory Use in H-1 subject to:

1. Permitted only within an enclosed building.

2. Live viewing by the general public is permitted.

3. Public viewing areas are permitted.

4. On-premises consumption of alcohol may be permitted if submitted and approved with the special use permit application.

5. Accessory use in the H-1 must be in conjunction with a resort hotel. (Ord 4275 § 7 (part), 3/2015; Ord. 3106 § 6 (part), 8/2004)

Conditional Use in U-V must be part of a mixed-use development (Section 30.40.310).

Accessory Use in H-1 when in conjunction with a resort hotel.

Accessory commercial uses may be permitted in conjunction with the establishment including, but not limited to, shops, snack bars, lounges and restaurants, provided the accessory commercial uses are specified in a special use permit.

NOTE: Landscaping and screening requirements per Table 30.64-2 (Commercial and Special Use). (Ord. 4077 § 9 (part), 2/2013)

(Also see “Resort Hotel, Rural Resort Hotel”) 1510 (Ord 3355 § 5 (part), 2/2006)

A=Accessory Use C=Conditional Use P=Permitted Use S=Special Use Permit T= Administrative Temporary Use Permit Note: If box is empty, use is prohibited
Uses SLUCM CODE Residential Districts Commercial Districts Manufacturing/ Industrial Districts Miscellaneous Districts R-U R-A RE R-D R-1 R-T R-2 RUD R-3 R-4 R-5 CRT C-P C-1 C-2 M-D M-1 M-2 O-S H-2 P-F RVP U-V H-1 Motel, Including Condominium Motel 1510 C S S C C
30.44-58 Table 30.44-1 Global Use Table
Motion Picture Production/Studio 3900 C, S C, S A
Movie Theater, Drive in (outdoor) 7211 S S S S S Museum 7110 S S S S S S S S S S S S S S S S S S S P S C S,A

Conditional in U-V:

In U-V must be part of a mixed-use development (Section 30.40.310)

Accessory in H-1:

In conjunction with a resort hotel

Special Use in C-2, M-D, M-1, H-1 and Subject to:

Must be set back a minimum of 500 feet from any residential use. This condition cannot be waived or varied.

NOTE: Chapter 8.20 of the Clark County Code regulates the sale of alcohol and cannot be waived or varied (See Business License Department) (Ord. 3518 § 9 (part), 5/2007)

Accessory commercial uses may be permitted in conjunction with the establishment including, but not limited to, shops, snack bars, lounges and restaurants, provided the accessory commercial uses are specified in a special use permit.

Accessory Use Subject to:

1. Must be in conjunction with residential development, storage only, not to be used as a residence, except as permitted under Temporary Dwellings. No waivers or variances permitted.

2. A total of 3 Recreational Vehicles or Travel Trailers allowed. If a special use permit is approved for 4 or more Recreational Vehicles or Travel Trailers, an intense buffer from adjacent residential or street is required per Figure 30.64-12.

(Ord. 4481 § 9 (part), 5/2017; Ord 4368 § 1 (part), 2/2016; Ord. 4010 § 3 (part), 4/2012; Ord. 3518 § 9 (part), 5/2007)

Effective May 5, 2004, this use is prohibited in unincorporated Clark County, except as expressly permitted elsewhere within this Section. Legally existing off-premises signs approved subject to a review period shall be automatically extended without further review or land use application. (Also see Chapter 30.76 for nonconforming uses and structures.)

NOTE: Legally existing nonconforming off-premises signs may convert to a digital sign per the provisions of Section 30.76.060.

(Ord 4655 § 1 (part), 1/2019; Ord 4275 § 7 (part), 3/2015; Ord. 3741 § 4, 3/2009; Ord. 3106 § 6 (part), 8/2004; Ord. 3061 § 5, 5/2004; Ord 2981 § 4 (part), 11/2003; Ord. 2851 § 2, 2/2003; Ord. 2725 § 3, 3/2002) Office

Refer to SLUCM for underlying principal use

Special Use in P-F when it is the primary use.

Conditional Use in U-V Subject to: must be part of a mixed use development per Section 30.40.310.

Accessory Use in M-D, M-1, H-1, H-2, and P-F when office is for administration purposes only, accessory to the primary business. (Ord. 3635 § 6 (part), 6/2008; Ord. 3354 § 6 (part), 2/2006; Ord. 2907 § 6 (part), 7/2003)

Oil Well (outside) 8500 S

A=Accessory Use C=Conditional Use P=Permitted Use S=Special Use Permit T= Administrative Temporary Use Permit
If box is empty, use is prohibited
Uses SLUCM CODE Residential Districts Commercial Districts Manufacturing/ Industrial Districts Miscellaneous Districts R-U R-A RE R-D R-1 R-T R-2 RUD R-3 R-4 R-5 CRT C-P C-1 C-2 M-D M-1 M-2 O-S H-2 P-F RVP U-V H-1 Nightclub 5800 S S S C S,A
Note:
30.44-59 Table 30.44-1 Global Use Table
Nudist Camp 7500 S S S
Off-Highway Vehicle, Recreational Vehicle and Watercraft Storage 0 A A A A A A A A A A A S S P P A A A
Off-Premises Signs 4700
(Also see “Construction Activities, Temporary”, “Home Occupation”, “Retail”, or “Temporary Office, Commercial”) P P P P S,A S,A S,A S,A C S,A

Outside Dining, Drinking and Cooking

(Also see “Alcohol, On-Premises Consumption”)

5800

Conditional Use in M-D and M-1 Subject to an Administrative Design Review Application, and Special Use in C-1, C-2, and H-1, All subject to the following separations. (These conditions cannot be waived or varied) Separations shall be measured radially in all directions from the property line to the nearest property line of the uses listed below. The applicant shall provide evidence certified by a professional land surveyor licensed in the State of Nevada that demonstrates conformity with the following separation requirements. Must be located a minimum of:

1. 1,500 feet from any residential use;

2. 1,500 feet from a public library, public park or playground, daycare facilities for children, school, or place of worship.

Note: When a freeway at least 100 feet wide separates the proposed outcall entertainment referral service and any residential use, public library, public park or playground, daycare facilities for children, schools, or places of worship, no minimum separation shall be required from that use, provided there is no exterior signage visible from such uses (this cannot be waived or varied).

(Ord. 4839 § 9 (part), 1/2021; Ord 3889 § 1, 8/2010; Ord 3805 § 4 (part), 9/2009; Ord. 2625 §2, 2001)

Accessory Use in H-1 when in conjunction with a resort hotel. When adjacent to a right-of-way or parking area, subject to the same conditions for C-1 and C-2.

Conditional Use in C-1, C-2, U-V and H-1 and Special Use in M-D and M-1 Subject to:

1. Must have a minimum separation of 200 feet from any residential use unless separated by a collector or arterial street or buffered from the residential use by a building.

2. Except for mixed use pedestrian realms (minimum 15 feet), a protective barrier shall be constructed between the outside dining area and any sidewalk and parking areas (may include gates and/or be a 6 foot decorative fence.)

3. A minimum 48 inch wide pedestrian access shall be maintained around the perimeter of the outside dining area.

4. Must be in conjunction with a supper club, tourist club, mixed use development, or restaurant.

5. On-premises consumption of alcohol (outside) shall require primary means of access through the interior of the supper club, tourist club, mixed use development, or restaurant. Secondary gated access is permitted.

In addition to conditions #1 and #3 above, the following conditions shall also apply to freestanding restaurants with no on-premises consumption of alcohol:

Conditional Use in C-1, C-2, U-V and H-1 and Special Use in M-D and M-1 Subject to:

1. If seating is located less than 5 feet from the drive aisle and/or drive thru, a protective barrier must be installed (may include gated access)

2. Must be in conjunction with the restaurant.

NOTE: All conditions listed above do not apply to development located within the SOSA Design Overlay (See Chapter 30.48 Part M) or qualifying development that opts into the Midtown Maryland Parkway District (See Chapter 30.48 Part P) (Ord. 4625 § 2 (part), 10/2018; Ord 4275 § 7 (part), 3/2015; Ord 3955 § 5, 6/2011; Ord. 3924 § 6 (part), 1/2011; Ord. 3757 § 5 (part), 4/2009; Ord 3586 § 5 (part), 2/2008; Ord. 3472 § 7 (part), 1/2007; Ord. 3432 § 6 (part), 10/2006; Ord. 3354 § 6 (part), 2/2006; Ord. 2961 § 6 (part), 10/2003; Ord. 2907 § 6 (part), 7/2003; Ord. 2757 § 2 (part), 6/2002)

A=Accessory Use C=Conditional Use P=Permitted Use S=Special Use Permit T= Administrative Temporary Use Permit Note: If box is empty, use is prohibited
Table
Uses SLUCM CODE Residential Districts Commercial Districts Manufacturing/ Industrial Districts Miscellaneous Districts R-U R-A RE R-D R-1 R-T R-2 RUD R-3 R-4 R-5 CRT C-P C-1 C-2 M-D M-1 M-2 O-S H-2 P-F RVP U-V H-1 Outcall Entertainment Referral Service 6590 S S C C S
30.44-60
30.44-1 Global Use Table
C C S S C C,A

Table 30.44-1 Global Use Table

Outside Storage/Outside Display

(Also see “Hazardous Materials or Waste Storage” for additional regulations)

Continued on next page

Conditional Use in C-2, M-D and H-1 Subject to:

1. Must be accessory to an indoor principal use (permitted within the district).

2. Must be located behind the front of the building unless otherwise permitted in this table.

3. Must be screened from any right-of-way and from any adjacent less intensive uses with a screened fence or wall. If not screened by a perimeter fence or wall, the fence or wall and outside storage shall meet the setback requirements of Chapter 30.56 unless otherwise permitted in this table.

4. Nothing shall be stacked or piled above the height of the screened fence or wall

5. Any outside area used for parking, maneuvering, or storing motor vehicles, equipment, or materials shall be paved. (Conditions #1 and #4 cannot be waived or varied)

Conditional Use in M -1, M -2 and P-F Subject to:

1. Must be screened from any right-of-way and from any adjacent less intensive uses with a screened fence or wall. If not screened by a perimeter fence or wall, the fence or wall and outside storage shall meet the setback requirements of Chapter 30.56.

2. Nothing shall be stacked above the height of the screened fence.

3. Any outside area used for parking, maneuvering, or storing motor vehicles, equipment, or materials shall be paved.

4. When located within the P-F district, must be in conjunction with an indoor principal use (permitted within the district).

Accessory Use in R-U, R-A, R-E, R-1 and R-T Subject to:

1. Must be located outside the Red Rock Overlay District and within Community District 5, and in conjunction with a single family use or special use. (This condition cannot be waived or varied.)

2. Equipment may be stored on-site

3. Commercial Vehicles subject to the following:

a. One commercial vehicle related to a voluntary public service including but not limited to, fire, ambulance, road maintenance/repair; and

b. One commercial vehicle subject to:

i. 20,000 square foot minimum lot size.

ii. Only be parking vehicle for a maximum of 72 hours.

Conditions listed for (3)(b) may be waived with the approval of an administrative minor deviation per Table 30.16-8

Special Use in R-U, R-A, R-E, R-1 and R-T subject to:

Scrap and salvage from metal, wood, or other materials suitable for reuse may be stored subject to approval of a special use permit and the following conditions:

1. Must be located outside the Red Rock Overlay District and within Community District 5, and must be accessory to a single family use or special use.

Continued on next page

A=Accessory Use C=Conditional Use P=Permitted Use S=Special Use Permit T= Administrative Temporary Use Permit Note: If box is empty, use is prohibited
Uses SLUCM CODE Residential Districts Commercial Districts Manufacturing/ Industrial Districts Miscellaneous Districts R-U R-A RE R-D R-1 R-T R-2 RUD R-3 R-4 R-5 CRT C-P C-1 C-2 M-D M-1 M-2 O-S H-2 P-F RVP U-V H-1
30.44-61
6370 S,A S,A S,A S,A S,A C C, S C, S C, S C C

Table 30.44-1 Global Use Table

Outside Storage/Outside Display

(Also see “Hazardous Materials or Waste Storage” for additional regulations)

Continued from previous page

Special Use in R-U, R-A, R-E, R-1 and R-T subject to: (Continued from previous page)

2. Must have 40,000 square foot minimum lot size.

3. Area for outside storage shall not exceed 20% of the lot area.

4. All outside storage shall be screened.

5. The following shall not be stored: hazardous materials or waste, explosives, bottles, cans, paper, rags, plastic, and refuse. Conditions #1 and #5 cannot be waived or varied.

Outside storage of chemicals and/or other hazardous materials is a Special Use in M -D, M -1, and M -2 Subject to: Must comply with all required conditions for Hazardous Materials or Waste Storage per Table 30.44-1 in addition to the conditions listed above. (This condition cannot be waived or varied)

(Ord. 4077 § 9 (part), 2/2013; Ord. 4052 § 2 (part), 9/2012; Ord. 3970 § 5 (part), 8/2011;Ord. 3766 § 3 (part), 6/2009; Ord. 3688 § 7 (part), 10/2008; Ord. 3549 § 7 (part), 9/2007; Ord. 3397 § 6 (part), 6/2006; Ord. 2907 § 6 (part), 7/2003; Ord. 2890 § 5 (part), 4/2003; Ord. 2778 § 2, 7/2002; Ord. 2741 § 7 (part), 5/2002) Package Wastewater Treatment Plant

(Also see, “Interim Package Wastewater Treatment Plant”, “Reclaimed Wastewater”, “Reclamation Facility”, and “Sewage Treatment Plant”)

0 S S S S S S S S S

Special Use Subject to:

1. All package wastewater treatment plants shall demonstrate compliance with Clark County Code, Chapter 24.28, prior to land use application submittal and shall only be approved to serve developments located outside the service area of the local water reclamation district.

(This condition cannot be waived or varied)

Special Use in R-U, R-A, R-E, R-D and U-V Additionally Subject to:

1. All treatment units are to be covered and off air treated for odor control prior to release into the atmosphere.

2. Must submit CC&R’s prior to permits to ensure maintenance of facility.

3. Applications submitted for package wastewater treatment plants must be submitted to the Clark County Water Reclamation District for processing.

4. Reclaimed water must be used for landscaping but in no case shall it be used for food crops.

5. Applicant must demonstrate that odor from the plant will not adversely affect residential development.

6. In the U-V district, permitted only in conjunction with a mixed use development.

(These conditions cannot be waived or varied)

Special Use in M-D, M-1, M-2 and P-F Additionally Subject to:

1. Must be set back 1,000 feet from any non-industrial use.

2. Outside use may be permitted as a principal use.

3. Must be set back a minimum 200 feet from any other industrial use except accessory uses that are accessory to, and located upon, the same lot or parcel as the principal use.

(These conditions cannot be waived or varied)

NOTE: Landscaping and screening requirements per Table 30.64-2 (Industrial Use).

(Ord. 4077 § 9 (part), 2/2013Ord. 3518 § 9 (part), 5/2007; Ord. 3296 § 5 (part), 10/2005; Ord. 3174 § 5 (part), 1/2005; Ord. 2907 § 6 (part), 7/2003; Ord. 2683 § 3 (part), 11/2001)

A=Accessory Use C=Conditional Use P=Permitted Use S=Special Use Permit T= Administrative Temporary Use Permit Note: If box is empty, use is prohibited
30.44-62
Uses SLUCM CODE Residential Districts Commercial Districts Manufacturing/ Industrial Districts Miscellaneous Districts R-U R-A RE R-D R-1 R-T R-2 RUD R-3 R-4 R-5 CRT C-P C-1 C-2 M-D M-1 M-2 O-S H-2 P-F RVP U-V H-1
6370 S,A S,A S,A S,A S,A C C, S C, S C, S C C

Conditional Use in U-V: must be part of a mixed-use development (Section 30.40.310)

Conditional Use in P-F: must be operated by a public entity.

Accessory Use Subject to an Administrative Design Review Application:

1. When within residential zoning districts must be in conjunction with a special use. (Additional parking shall not be required)

2. Must be operated by a public entity.

3. Must be located along a collector or arterial street.

Use permitted outside. (Ord. 3970 § 5 (part), 8/2011; Ord. 3757 § 5 (part), 4/2009; Ord 3586 § 5 (part), 2/2008)

Development standards established by the plans approved.

Conditional Use in U-V must be part of a mixed-use development (Section 30.40.310).

Use permitted outside.

Outside storage is permitted subject to conditions for outside storage (see outside storage). A security fence or wall is permitted.

A=Accessory Use C=Conditional Use P=Permitted Use S=Special Use Permit T= Administrative Temporary Use Permit Note: If box is empty, use is prohibited
Uses SLUCM CODE Residential Districts Commercial Districts Manufacturing/ Industrial Districts Miscellaneous Districts R-U R-A RE R-D R-1 R-T R-2 RUD R-3 R-4 R-5 CRT C-P C-1 C-2 M-D M-1 M-2 O-S H-2 P-F RVP U-V H-1 Park and Ride 4600 A A A A A A A A A A A A S,A P,A P,A P,A P,A A S C A C S,A
30.44-62a Table 30.44-1 Global Use Table
Parks 7420 S S S S S S S S S S S S S S S S S S S S P S S S
Parking Lot 4600 S P P P P S C S
Passenger Terminal 4900 S S S S S S S S S S S S S S S S P S S S S S S S

Special Use in C-1 Subject to:

1. 1,500 foot separation from any Gaming Enterprise District.

2. 200 foot separation from any residential use.

In C-2, M-D and M-1: must have 1,500 foot separation from any Gaming Enterprise District. (Ord. 4770 § 7 (part), 3/2020; Ord. 2607 § 1, 2001)

Conditional Use in U-V must be part of a mixed-use development per Section 30.40.310.

Special Use in RVP Subject to same conditions for accessory commercial. The conditions for accessory commercial cannot be waived or varied.

Accessory Use when in conjunction with a day spa, resort hotel or hotel/motel having 50 or more guest rooms. (Ord. 4429 § 2 (part), 10/2016)

Special Use in Residential Development and RVP Subject to same conditions for accessory commercial. The conditions for accessory commercial cannot be waived or varied.

Conditional Use in U-V must be part of a mixed-use development per Section 30.40.310.

Accessory Use when in conjunction with a shopping center, resort hotel or hotel/motel having 50 or more guest rooms. (Ord. 4839 § 9 (part), 1/2021; Ord. 2961 § 6 (part), 10/2003)

Conditional Use in M-D and M-1 and Special Use in M-2 Subject to: No storage of chemicals in quantities meeting the definition of “Hazardous Material or Waste” (Chapter 30.08).

NOTE: Storage of any chemicals requires a permit from the Clark County Fire Department and may require a hazardous occupancy per the Building Code. (Ord. 3055 § 4 (part), 4/2004; Ord. 2890 § 5 (part), 4/2003)

Conditional Use C-1, C-2 and U-V:

1. The building must be designed to provide complete sound barriers and odor protection for adjacent properties.

2. Subject to all Clark County Animal Protection Services regulations per Title 10. (This condition cannot be waived or varied)

3. All animals must be kept indoors.

4. Must be part of a mixed use development within the U-V district. Special Use in M-D, M-1, H-2, and H-1:

1. Noise levels must comply with Animal Protection Services regulations.

2. The Commission or Board may consider allowing animals outside with the approval of the special use permit.

3. Subject to all Clark County Animal Protection Services regulations per Title 10. (This condition cannot be waived or varied) (Ord. 4960 § 19 (part), 7/2022; Ord. 2907 § 6 (part), 7/2003)

A=Accessory Use C=Conditional Use P=Permitted Use S=Special Use Permit T= Administrative Temporary Use Permit Note: If box is empty, use is prohibited
Uses SLUCM CODE Residential Districts Commercial Districts Manufacturing/ Industrial Districts Miscellaneous Districts R-U R-A RE R-D R-1 R-T R-2 RUD R-3 R-4 R-5 CRT C-P C-1 C-2 M-D M-1 M-2 O-S H-2 P-F RVP U-V H-1 Pawn Shop 5900 S S S S
30.44-63 Table 30.44-1 Global Use Table
Permanent Make-Up 6200 S P P P P S S C S, A
Personal Services
Occupation”) 6200 S S S S S S S S S S S S P P S S S S C S, A
(Also see “Home
Pest Extermination (Also see “Home Occupation”) 6300 C C S
Pet Shop 5900 C C S S S C S

(Also see “Fuel Storage Yard”)

Conditional Use in U-V must be part of a mixed-use development (Section 30.40.310)

Accessory Use in CRT and C-P when on the same premises as medical or dental office, but not including any other retail sales. (This condition cannot be waived or varied)

Medical offices are permitted within and incidental to the pharmacy.(Ord. 3432 § 6 (part), 10/2006)

Conditional Use in U-V must be part of a mixed-use development (Section 30.40.310).

Special Use Subject to:

1. Height of ornamental spires, belfries and similar architectural features may be established per the approved plans on file by the Commission or Board with the approval of plans.

2. Waivable sections of 30.40 may be waived/modified for the district with the special use permit.

C-1 and C-2 Use Subject to: Administrative Design Review, unless approved in conjunction with another application. NOTE: Landscaping and screening requirements per Table 30.64-2 (Commercial and Special Use).

(Ord. 4658 § 10 (part), 1/2019; Ord. 4077 § 9 (part), 2/2013; Ord. 3924 § 6 (part), 1/2011; Ord. 3549 § 7 (part), 9/2007; Ord. 3518 § 9 (part), 5/2007)

Planned Unit Development (PUD)

See Chapter 30.24

Deleted (Ord. 4658 § 10 (part), 1/2019; Ord. 4559 § 8 (part), 1/2018; Ord. 3432 § 6 (part), 10/2006; Ord. 3296 § 5 (part), 10/2005; Ord. 3078 § 5, 6/2004)

Conditional Use in H-2 and M-1 Subject to: Outside display or storage is permitted subject to the conditions for outside storage for M-1 (see “Outside Storage”).

Conditional Use in C-1, C-2, M-D Subject to: Outside display or storage in conjunction with retail sales is permitted subject to the conditions for outside storage in C-2 (See “Outside Storage”). (This condition cannot be waived or varied)

Conditional Use in U-V must be part of a mixed-use development (Section 30.40.310).

A=Accessory Use C=Conditional Use P=Permitted Use S=Special Use Permit T= Administrative Temporary Use Permit
If box is empty, use is prohibited
Uses SLUCM CODE Residential Districts Commercial Districts Manufacturing/ Industrial Districts Miscellaneous Districts R-U R-A RE R-D R-1 R-T R-2 RUD R-3 R-4 R-5 CRT C-P C-1 C-2 M-D M-1 M-2 O-S H-2 P-F RVP U-V H-1 Petroleum Product Storage
Note:
30.44-64 Table 30.44-1 Global Use Table
2900 S Pharmacy 6510 A S,A P P S S S C S
Photographic Studio 6200 P P P P S S C S
Place of Worship 6910 S S S S S S S S S S S S S C C S S S S S S S
Plant Nursery 5200 C C C C C S
Postal Services 6700 S P P S S S P C S

Table 30.44-1 Global Use Table

Power Generating Plant

(Also see “Electric Generating Station”)

Print Shop

Prison (See “Detention Facility”) (Ord. 3688 § 7 (part), 10/2008; Ord. 2857 § 10 (part), 2/2003) Psychic Arts

Note: See Business License Department (Ord. 4077 § 9 (part), 2/2013)

Public Address Systems (Also see 30.68.020)

Public Storage Bin Facility (Also see “Refuse Transfer Station”)

Special Use in R-U, R-A, R-E, CRT, C-P, C-1, C-2, M-D, M-1, M-2, H-2, P-F, and RVP Subject to:

1. Shall only be located in Community District 5 (CD-5).

NOTE: Landscaping and screening requirements per Table 30.64-2 (Commercial and Special Use). (Ord. 4077 § 9 (part), 2/2013;Ord. 3106 § 6 (part), 8/2004)

C=Conditional
is
is
A=Accessory Use
Use P=Permitted Use S=Special Use Permit T= Administrative Temporary Use Permit Note: If box
empty, use
prohibited 30.44-65
SLUCM CODE Residential Districts Commercial Districts Manufacturing/ Industrial Districts Miscellaneous Districts R-U R-A RE R-D R-1 R-T R-2 RUD R-3 R-4 R-5 CRT C-P C-1 C-2 M-D M-1 M-2 O-S H-2 P-F RVP U-V H-1
Uses
2700 S P P S
6990 P P P P P
4700 S S S S S S S S S S S S S S S S S S S S S S S S
4200 S S S S S S S S S S S S S S

Use Table

Public Utility Structures, including 34.5 kv or greater transmission lines

(not including communication towers and antennas)

Conditional use for Aboveground Utility Lines 200 kv or greater in all districts subject to Administrative Design Review subject to: Must be located within an aboveground transmission line corridor designated in the Public Facilities and Services element of the Clark County Comprehensive Master Plan.

For utility poles only, Conditional Use in all districts Subject to:

1. Additional height to existing poles:

a. 20 additional feet may be added to the height of original poles, or poles may be replaced on a one for one basis as long as the height of the new pole does not exceed the height of the original pole by more than 20 feet.

b. If more than 20 feet is added, the pole must be set back 300% of the height of the pole from residential development.

2. Additional poles may be added to existing utility corridors if an administrative minor deviation is approved Letters of consent are not required from publicly owned property.

3. Compliance with fugitive dust regulations, if applicable, per Clark County Air Quality Regulations

Conditional Use in C-2, M-D, M-1, and M-2, also Subject to:

1. For electric substations or other public utility structures, permitted only if equipment is not visible from streets or residential development, is screened with enhanced walls and landscaping, and is located at least 200 feet from a residential development. Subject to posting a sign on the property advertising the proposed use.

NOTE: A security fence/wall may be provided, including decorative walls up to 15 feet in height, in conjunction with an electric substation, as permitted by Chapter 30.64.

Special Use in all districts Subject to:

1. For all public utility buildings and structures which do not have permanent staff assigned to the facility:

a. Landscaping, trash enclosure and wall requirements shall not apply unless the facility exceeds 40,000 square feet. Then screening and landscaping shall be required

b. On-site paving, including parking and drive aisles, shall not be required provided all Clark County Air Quality Regulations are met

NOTE:

• A security fence/wall may be provided, including decorative walls up to 15 feet in height, in conjunction with an electric substation.

• Development standards can be waived with special use permit.

• Use permitted outside.

• The following facilities which impact more than one jurisdiction may be required to follow the Southern Nevada Regional Planning Coalition’s (SNRPC) procedures for Regional Infrastructure Projects (see SNRPC policies):

1. A transmission line that carries 60 kilovolts or more;

2. A facility that generates electricity greater than 50 megawatts;

3. Natural gas storage and peak shaving facilities; and

4. Gas regulator stations and mains that operate over 200 pounds per square inch.

(Ord. 4481 § 9 (part), 5/2017; Ord. 4266 § 3 (part), 12/2014; Ord. 4077 § 9 (part), 2/2013; Ord. 3757 § 5 (part), 4/2009; Ord. 3688 § 7 (part), 10/2008; Ord. 3296 § 5 (part), 10/2005; Ord. 3055 § 4 (part), 4/2004; Ord. 2907 § 6 (part), 7/2003; Ord. 2741 § 7 (part), 5/2002)

A=Accessory Use C=Conditional Use P=Permitted Use S=Special Use Permit T= Administrative Temporary Use Permit Note: If box is empty, use is prohibited
Uses SLUCM CODE Residential Districts Commercial Districts Manufacturing/ Industrial Districts Miscellaneous Districts R-U R-A RE R-D R-1 R-T R-2 RUD R-3 R-4 R-5 CRT C-P C-1 C-2 M-D M-1 M-2 O-S H-2 P-F RVP U-V H-1
30.44-65a Table 30.44-1 Global
4800 S, C S, C S, C S, C S, C S, C S, C S, C S, C S, C S, C S, C S, C S, C S,C S,C S,C S, C S, C S, C S, C S, C S, C S, C

Conditional and Special Uses: Accessory commercial and industrial uses, including, but not limited to, shops; snack bars; vehicle repair, maintenance, rental, and paint and body; warehouse; and fuel storage may be permitted in conjunction with the public/quasi public facility provided the accessory uses are specified in a special use permit approval subject to the same development standards required as listed in this table for such uses. A security fence or wall is permitted.

Use is Permitted outside.

NOTE: Landscaping and screening requirements per Table 30.64-2 (Commercial and Special Use)

(Ord. 4077 § 9 (part), 2/2013; Ord. 4010 § 3 (part), 4/2012; Ord. 3635 § 6 (part), 6/2008) Quarry – see “Gravel Pit”

(Ord. 3679 § 1 (part), 9/2008)

Accessory commercial uses may be permitted in conjunction with the establishment including, but not limited to, shops, snack bars, lounges and restaurants, provided the accessory commercial uses are specified in a special use permit. In addition, temporary parking for recreational vehicles during special events is permitted provided the use is specified in a special use permit.

NOTE: Landscaping and screening requirements per Table 30.64-2 (Commercial and Special Use). (Ord. 4077 § 9 (part), 2/2013)

Reclamation Facility

(Also see “Package Wastewater Treatment Plant”)

Special Use Subject to obtaining State Discharge Permit and complying with requirements outlined in NAC and NRS 445A.

NOTE: Landscaping and screening requirements per Table 30.64-2 (Commercial and Special Uses).

(Ord. 4077 § 9 (part), 2/2013; Ord. 3970 § 5 (part), 8/2011;Ord. 3174 § 5 (part), 1/2005; Ord. 2857 § 10 (part), 2/2003)

Special Use in CRT Subject to:

1. Must be located on an arterial street within the Transition Corridor Overlay.

2. Must be located within 800 feet of an intersection with a collector or arterial street.

3. Must demonstrate and document compatibility with outside noise attenuation to ambient levels when adjacent to any residential use.

4. Communication antenna and/or tower in conjunction with this use must comply with communication tower and/or antenna requirements if applicable.

Conditional Use in U-V: must be part of a mixed-use development in accordance with Section 30.40.310 and Chapter 30.48, Part J.

Conditional Use in C-P, C-1, C-2, M-D, and M-1 and Special Use in H-1 Subject to: communication antenna and/or tower must comply with communication tower and/or antenna requirements if applicable. (Ord. 3210 § 1, 3/2005)

A=Accessory Use C=Conditional Use P=Permitted Use S=Special Use Permit T= Administrative Temporary Use Permit Note: If box is empty, use is prohibited
Table
Uses SLUCM CODE Residential Districts Commercial Districts Manufacturing/ Industrial Districts Miscellaneous Districts R-U R-A RE R-D R-1 R-T R-2 RUD R-3 R-4 R-5 CRT C-P C-1 C-2 M-D M-1 M-2 O-S H-2 P-F RVP U-V H-1 Public/Quasi-Public Buildings and Facilities 6700 S S S S S S S S S S S S S S S S S S S S P S S S
30.44-66
30.44-1 Global Use Table
Racetrack 7221 S S S S S S S S S S S S S S S S S S S S S S S S
0 S S S S S S S S S S S S S S S S S S S S S S
Recording Studio 4900 S C C C C C C S

Recreational Fields, Courts, Pools

1. Accessory commercial uses may be permitted in conjunction with the establishment including, but not limited to shops, snack bars, lounges and restaurants, provided the accessory commercial uses are specified in a special use permit approval.

2. Temporary commercial uses are permitted without an administrative temporary use if the principal use is conducted outdoors and the temporary commercial use is located a minimum of 200 feet from a residential development.

3. If provided, any wall along street frontage shall be set back and landscaped per 30.64-6, 7, 8, 10, or 13.

Conditional Use in U-V must be part of a mixed-use development per Section 30.40.310.

Accessory Use when in conjunction with a resort hotel.

NOTES:

1. Landscaping and screening requirements per Table 30.64-2 (Commercial and Special Use).

2. Activities are permitted outside.

3. Title 8 of the Clark County Code regulates the sale of alcohol and cannot be waived or varied (see Business License Department).

4. Off-premises signage allowed in conjunction with Recreational Facilities which are governed by a Board authorized by the State of Nevada.

(Ord 4655 § 1 (part), 1/2019; Ord. 4077 § 9 (part), 2/2013; Ord. 3518 § 9 (part), 5/2007; Ord. 2741 § 7 (part), 5/2002)

DELETED (Ord. 4770 § 7 (part), 3/2020; Ord. 3432 § 6 (part), 10/2006; Ord. 3296 § 5 (part), 10/2005)

Recreational Park Trailer

(Also see “Recreational Vehicle Park”) 1420

Conditional Use: (These conditions cannot be waived or varied)

1. Recreational park trailers are permitted only within recreational vehicle parks and are subject to the same restrictions listed in this table for such parks, except for the length of time the trailer is permitted to be placed.

2. Recreational park trailers are transient accommodations where the recreational park trailer may be placed for an indefinite period of time, but within which the same occupants are only permitted to stay a maximum of 9 months. Placement of trailer and/or occupancy shall be limited to a maximum of 180 days if located within a flood zone per Federal Emergency Management Agency (FEMA) regulations.

3. Models of recreational park trailers may be established subject to the conditions for “Model Residences”. (Ord. 3518 § 9 (part), 5/2007; Ord. 2800 § 2 (part), 10/2002; Ord. 2737 § 2, 4/2002)

A=Accessory Use C=Conditional Use P=Permitted Use S=Special Use Permit T= Administrative Temporary Use Permit Note: If box is empty, use is prohibited
Uses SLUCM CODE Residential Districts Commercial Districts Manufacturing/ Industrial Districts Miscellaneous Districts R-U R-A RE R-D R-1 R-T R-2 RUD R-3 R-4 R-5 CRT C-P C-1 C-2 M-D M-1 M-2 O-S H-2 P-F RVP U-V H-1 Recreational Facility 7211 7212 7221 7222 72211 72212 7230 7310 7395-96 7411 7413 7420 7425 7430 7490 S S S S S S S S S S S S S S S S S S S S S S C S, A Special Use:
30.44-67 Table 30.44-1 Global Use Table
C

(Also see “Recreational Park Trailer”)

Accessory Use in conjunction with a resort hotel only and subject to the conditions below. (This condition cannot be waived or varied.)

Conditional Use:

(Conditions 1 and 2 cannot be waived or varied)

1. Recreational vehicle parks are transient accommodations, where the recreational vehicle is only permitted to stay a maximum of 9 months or is limited to a maximum of 180 days if located within a flood zone per Federal Emergency Management Agency (FEMA) regulations.

2. A register of all persons staying in the park shall be kept at all times and shall include the following.

A. The names and home addresses of all persons staying in the recreational vehicle park.

B. The date of their arrival and departure.

C. The number of, and state in which, drivers' licenses of such persons were issued.

D. The license number of all recreational vehicles in the park.

E. The make and model of each recreational vehicle in the park.

F. The recreational vehicle lot or space on which each is located.

3. Every recreational vehicle park shall provide a centrally-located service building containing the following.

A. Management offices.

B. Laundry facilities.

C. Sanitary facilities. Sanitary facilities shall be located no more than 400 feet from each recreational vehicle site.

4. Any area greater than 5,000 square feet used for parking, maneuvering, or storing motor vehicles, equipment, or materials shall be paved.

5. For the purpose of the issuance of building permits, accessory structures on a subdivided recreational vehicle lot within a recreational vehicle park shall be considered to be residential structures.

Activities are permitted outside (Ord. 4658 § 10 (part), 1/2019; Ord. 4052 § 2 (part), 9/2012; Ord 3586 § 5 (part), 2/2008; Ord. 3518 § 9 (part), 5/2007; Ord. 2907 § 6 (part), 7/2003; Ord. 2800 § 2 (part), 10/2002; Ord. 2737 § 2, 4/2002)

A=Accessory Use C=Conditional Use P=Permitted Use S=Special Use Permit T= Administrative Temporary Use Permit Note: If box is empty, use is prohibited
Uses SLUCM CODE Residential Districts Commercial Districts Manufacturing/ Industrial Districts Miscellaneous Districts R-U R-A RE R-D R-1 R-T R-2 RUD R-3 R-4 R-5 CRT C-P C-1 C-2 M-D M-1 M-2 O-S H-2 P-F RVP U-V H-1
30.44-68 Table 30.44-1 Global Use Table
Recreational Vehicle Park
C A
1420

Recycling and Related Uses

(Also see “Compost Plant”, “Construction Cleanup”, “Construction or Demolition Short Term Facility”, “Document Destruction and Recycling”, “Materials Recovery Facility”, “Recyclable Collection”, “Recycling Center”)

Conditional Use in M-D and M-1 Subject to: Compliance with the requirements for “Outside Storage”. All commercial/industrial/special uses may collect recyclables. Outside collection placed in decorative containers is permitted. (Ord. 3688 § 7 (part), 10/2008; Ord. 2907 § 6 (part), 7/2003)

(Ord 3586 § 5 (part), 2/2008)

A=Accessory Use C=Conditional Use P=Permitted Use S=Special Use Permit T= Administrative Temporary Use Permit Note: If box is empty, use is prohibited
Uses SLUCM CODE Residential Districts Commercial Districts Manufacturing/ Industrial Districts Miscellaneous Districts R-U R-A RE R-D R-1 R-T R-2 RUD R-3 R-4 R-5 CRT C-P C-1 C-2 M-D M-1 M-2 O-S H-2 P-F RVP U-V H-1 Recyclable Collection 3900 A C C A A A A A
30.44-69 Table 30.44-1 Global Use Table

Recycling Center

(Also see “Composting Facility”, “Construction and Demolition Short Term Facility” or “Materials Recovery Facility”)

Conditional Use in M-1 and Special Use in M-2 Subject to:

1. Recyclable material only shall be processed at the site; no commingled waste is permitted.

2. Must be set back 600 feet from any non-industrial use.

3. Outside storage is permitted as a principal use (See also “Outside Storage”).

4. Any outside area used for parking, maneuvering, or storing motor vehicles, equipment, or materials must be paved.

5. Must not conflict with any franchise agreement.

6. Processed recyclable material stored outside shall not be bundled in packages which exceed the height of the required screening.

7. Processed recyclable material shall not be stored outside more than three months and shall not exceed 3,000 cubic yards at any time.

8. Recyclable material must be baled sufficiently secure as to ensure no material is separated from the bale by adverse weather conditions. Conditions 4 through 8 cannot be waived or varied. (Ord. 3970 § 5 (part), 8/2011; Ord. 3549 § 7 (part), 9/2007; Ord. 3257 § 3 (part), 7/2005; Ord. 2907 § 6 (part), 7/2003)

Reflexology

(Also see “Massage” and “Reflexology Establishment”)

Accessory Use Subject to:

1. Operating in conjunction with a resort hotel, health club, country club, golf course and accompanying club house, or retreat; or

2. Operating in conjunction with a beauty salon or day spa providing a minimum of three beauty salon/day spa services; or

3. Operating in conjunction with a state licensed health care provider as defined in NRS 629.031; or

4. Operating in conjunction with a massage school as part of the curriculum of the school per Chapter 394 Nevada Administrative Code; or

5 Operating in conjunction with a massage establishment per Chapter 7.07 of the Clark County Code.

6 Reflexology performed by a certified reflexologist shall be limited to hours of operation from 8:00 a.m. to 12:00 a.m. Reflexology performed in conjunction with a business with more restrictive hours of operation shall adhere to the more restrictive hours. (See Section 30.08.030 “Certified Reflexologist”)

Conditions 1 through 5 cannot be waived or varied.

NOTE: Hours of operation restriction shall not apply when in conjunction with a resort hotel. Chapter 7.07 of the Clark County Code regulates Reflexology Establishments. (Ord. 4429 § 2 (part), 10/2016; Ord. 4194 § 3 (part), 4/2014)

A=Accessory Use C=Conditional Use P=Permitted Use S=Special Use Permit T= Administrative Temporary Use Permit Note: If box is empty, use is prohibited
Table
Uses SLUCM CODE Residential Districts Commercial Districts Manufacturing/ Industrial Districts Miscellaneous Districts R-U R-A RE R-D R-1 R-T R-2 RUD R-3 R-4 R-5 CRT C-P C-1 C-2 M-D M-1 M-2 O-S H-2 P-F RVP U-V H-1
30.44-70
30.44-1 Global Use Table
3900 C S
A A A A A A A A A A A

Table 30.44-1 Global Use Table

Reflexology Establishment

(Also see “Massage” and “Reflexology”)

Conditional Use in C-2, U-V and H-1 Subject to: hours of operation limited from 8:00 a.m. to 12:00 a.m.

Accessory Use in H-1 when in conjunction with a resort hotel. Within the U-V district, must be part of a mixed-use development (See Section 30.40.310 and Chapter 30.48 Part J). Chapter 7.07 of the Clark County Code regulates Reflexology Establishments. (Ord. 4194 § 3 (part), 4/2014)

Refuse Transfer Station

(Also see “Public Storage Bin Facility”)

Special Use in M-1 and M-2 Subject to:

1. All uses, except for parking and refueling facilities, and traffic control stations, must be conducted within an enclosed building.

2. The site must be no less than 10 gross acres in size.

3. Any building utilized for refuse transfer must be located at least 400 feet from an existing occupied residential dwelling on any other property.

4. Access to the site shall only be from an arterial or collector street.

5. A 20 foot wide dense landscape buffer is required along any street, or adjacent to any property not devoted to a similar use.

6. A decorative wall of sufficient height, as determined by the Commission or Board, is required around the entire parcel, set back for landscaping along the street.

7. Odor from the installation shall be minimized through the following techniques in addition to any requirement the Commission or Board may choose to impose as a condition of approval:

A. Refuse, except that separated for recycling, must be removed to a sanitary landfill within 24 hours of its arrival at the transfer station.

B. Refuse shall be treated to mitigate any odors emanating from the refuse with methods including, but not limited to, spraying of the refuse with perfume at sufficient intervals.

8. Any outside area used for parking, maneuvering, or storing motor vehicles, equipment, or materials shall be paved.

(Ord. 4052 § 2 (part), 9/2012; Ord. 4010 § 3 (part), 4/2012; Ord. 3688 § 7 (part), 10/2008; Ord. 3106 § 6 (part), 8/2004; Ord. 2907 § 6 (part), 7/2003)

A=Accessory Use C=Conditional Use P=Permitted Use S=Special Use Permit T= Administrative Temporary Use Permit Note: If box is empty, use is prohibited
Uses SLUCM CODE Residential Districts Commercial Districts Manufacturing/ Industrial Districts Miscellaneous Districts R-U R-A RE R-D R-1 R-T R-2 RUD R-3 R-4 R-5 CRT C-P C-1 C-2 M-D M-1 M-2 O-S H-2 P-F RVP U-V H-1
30.44-70a
C C C,A
S S
4200
Rental Store 5900 P P S S

1510

Special Use in U-V and H-1 Subject to:

1. The rental of units to transient guests is prohibited unless the person renting such unit is licensed by Clark County as an operator of a transient lodging establishment or as a transient lodging broker.

2. Kitchens, if provided, must be shown on the approved plans and considered by the Commission or Board at the public hearing.

3. Accessory uses may be permitted provided they are shown on the approved plans.

4. Except for resort condominiums located within that portion of the Gaming Enterprise District north of Sunset Road, and resort condominiums developed in conjunction with a resort hotel, open space shall be provided throughout the project at a minimum of 100 square feet per unit.

Conditions #1 and #2 cannot be waived or varied. (Ord. 3432 § 6 (part), 10/2006; Ord. 3354 § 6 (part), 2/2006; Ord. 3174 § 5 (part), 1/2005; Ord. 3055 § 4 (part), 4/2004)

Special Use:

1. Permitted only in the established or expanded Gaming Enterprise District. This condition cannot be waived or varied. See Chapter 30.48, Part E, and Map G (5) for restrictions on the expansion of the Gaming Overlay District.

2. Accessory uses, including recreational facilities and daycare, may be permitted provided (also see conditions for “Outside Dining” and “Live Entertainment”):

A. The primary means of access must be through the interior of the resort hotel except for community recreational uses that invite or welcome minors (including but not limited to movie theaters, bowling alleys, and arcades).

B. No outside signs shall be established unless advertised on a principal permitted sign or a wall sign less than 100 square feet in area.

C. Kitchens within guest rooms shall only be approved with a special use permit, and applicant is advised that the Liquor and Gaming Board does not allow kitchens in conjunction with an unrestricted gaming license. (Conditions listed under #2 may be waived with the approval of the special use permit.)

3. If compatible with adjacent uses, hotels may be constructed and maintained without regard to the development standards required within this Title, provided all relaxed standards are identified in the application request, except for the following:

A. Sight zone requirements shall be maintained per Chapter 30.52

B. Airport environs requirements shall be maintained per Chapter 30.48.

C. No building or structure shall be constructed within 10 feet of any street, except:

i. Pedestrian walkway covers or structures within the setback (not including pedestrian overpass bridges).

ii. Structures which connect to a County required pedestrian overpass bridge adjacent to the property of the resort.

D. Parking temporarily reduced for construction purposes shall not be reduced by more than 50%.

4. Outside storage of equipment and material incidental to the maintenance of the resort is permitted subject to setbacks as required, landscaping and screening requirements per Figures 30.64-8 and 30.64-11. Any outside area used for parking, maneuvering, or storing motor vehicles, equipment, or materials shall be paved. (continued on next page)

A=Accessory Use C=Conditional Use P=Permitted Use S=Special Use Permit T= Administrative Temporary Use Permit Note: If box is empty, use is prohibited
Table
Uses SLUCM CODE Residential Districts Commercial Districts Manufacturing/ Industrial Districts Miscellaneous Districts R-U R-A RE R-D R-1 R-T R-2 RUD R-3 R-4 R-5 CRT C-P C-1 C-2 M-D M-1 M-2 O-S H-2 P-F RVP U-V H-1 Resort Condominium 5999 S S
30.44-71
30.44-1 Global Use Table
Resort Hotel, Rural Resort Hotel
(continued on next page) S

(continued from previous page)

5. In addition to the above, neighborhood casinos shall conform to the following conditions:

A. Maximum height of 100 feet or, if located within the Mixed Use Overlay District, the height permitted within the MUD subdistrict in which the proposed project is located.

B. No lighting from any building shall shine directly on adjacent development. Reflective lighting (such as but not limited to backlighting and uplighting) shall be used to the greatest extent practical.

C. The use of highly reflective building materials should be minimized to reduce potential impacts on nearby properties.

D. Neighborhood casinos located within the Mixed Use Overlay District overlay shall satisfy pedestrian realm requirements per Section 30.48.770 (C)(6).

E. All existing safe routes to school and future school sites shall be identified on the plan, and related safety concerns shall be addressed at time of design review.

F. The applicant shall consider the following when designing a neighborhood casino:

i. Traffic mitigation of potential traffic impacts.

ii. Separation distance from inventoried (future) and existing school sites located within 2,500 linear feet of the proposed project.

iii. Height, size, brilliance, and animation of signs.

iv. Access through non-gaming areas for community recreational uses that invite or welcome minors.

G. Temporary (construction) signs in conformance with Chapter 30.72 shall be constructed on site after land use approval and shall include additional information as follows:

i. At least one sign shall have a minimum area of 256 sq ft.

ii. One sign shall be constructed on each street frontage.

iii. If available, the information required on each sign shall include: (a) approved height, (b) casino area, and (c) number of rooms.

NOTES:

1. Off-premises signage allowed in conjunction with Resort Hotels.

2. Off-premises signage allowed for a use holding a business license issued in conjunction with a Resort Hotel.

(Ord. 4839 § 9 (part), 1/2021; Ord. 4658 § 10 (part), 1/2019; Ord 4655 § 1 (part), 1/2019; Ord. 4508 § 2, 8/2017; Ord. 4052 § 2 (part), 9/2012; Ord. 3688 § 7 (part), 10/2008; Ord. 3355 § 5 (part), 2/2006; Ord. 2907 § 6 (part), 7/2003; Ord. 2741 § 7 (part), 5/2002)

A=Accessory Use C=Conditional Use P=Permitted Use S=Special Use Permit T= Administrative Temporary Use Permit Note: If box is empty, use is prohibited
Uses SLUCM CODE Residential Districts Commercial Districts Manufacturing/ Industrial Districts Miscellaneous Districts R-U R-A RE R-D R-1 R-T R-2 RUD R-3 R-4 R-5 CRT C-P C-1 C-2 M-D M-1 M-2 O-S H-2 P-F RVP U-V H-1
30.44-71a Table 30.44-1 Global Use Table
Resort Hotel, Rural Resort Hotel
1510 S
Special Use:

See conditions under “Retail Sales and Service”. (Ord. 2741 § 7 (part), 5/2002) Retail

(Also see “Home Occupation”)

Special Use when in conjunction with residential development Subject to: Same conditions for accessory commercial. (The conditions for accessory commercial cannot be waived or varied.)

Special Use in M-1, M-D, H-1, H-2, and P-F when it is the primary use. (Does not include uses separately listed such as home improvement center, rental store, etc.)

Conditional Use in C-P (these conditions also apply to copy center, dry cleaner office, and restaurants within C-P):

1. Must be designed to primarily serve the employees/customers of a business park.

2. No exterior advertising shall be permitted.

3. Maximum combined area for all retail, copy center, dry cleaner office, and restaurant uses shall not exceed 10% of the total building square footage of the business park, 20% of the area of the building in which it is located, or 2,000 square feet, whichever is less.

Conditional Use in U-V Subject to: Must be part of a mixed-use development per Section 30.40.310.

Accessory Use in the following:

CRT, C-P:

1. When accessory and related to primary business.

2. No exterior advertising shall be permitted.

M-D, M-1: When accessory to primary wholesale or industrial use (Does not include uses separately listed such as home improvement center, rental store, etc).

H-1: When in conjunction with a resort hotel or hotel/motel having 50 or more guest rooms.

P-F: When in conjunction with a principal use.

(The conditions for accessory use cannot be waived or varied.) (Ord. 4077 § 9 (part), 2/2013; Ord. 2907 § 6 (part), 7/2003)

Retreat 1900 S S S S

Special Use Subject to:

1. Must be located outside the Urban Area.

2. Low foot candle, low intensity, subdued exterior lighting shall be used.

3. 1 nameplate and monument sign may be permitted.

4. Sleeping accommodations shall be incidental to retreat-related services only and shall not be rented independently of other services provided.

Special Use in U-V also Subject to: must be part of a mixed use development (See Section 30.40.310 and Chapter 30.48, Part J). (Ord. 3296 § 5 (part), 10/2005)

Riding/Rental Stable

(Also see “Horse Riding/Rental Stable”)

A=Accessory Use C=Conditional Use P=Permitted Use S=Special Use Permit T= Administrative Temporary Use Permit Note: If box is empty, use is prohibited
Uses SLUCM CODE Residential Districts Commercial Districts Manufacturing/ Industrial Districts Miscellaneous Districts R-U R-A RE R-D R-1 R-T R-2 RUD R-3 R-4 R-5 CRT C-P C-1 C-2 M-D M-1 M-2 O-S H-2 P-F RVP U-V H-1 Restaurant 5800 C, A P P S, A S, A S A S C S, A
30.44-72 Table 30.44-1 Global Use Table
Sales and Service
5900 1110 S S S S S S S S S S S A C, A P P S, A S, A S S, A C S, A

30.44-1 Global Use Table

Special Use Subject to: (Use is permitted outside)

1. 1,000 foot setback to any equipment from an existing occupied residential dwelling on any other property.

2. A rock crushing operation located within Hydrographic Areas 212, 216 or 217 (see Appendix G, Map #11) shall: (These conditions cannot be waived or varied.)

A. Pave all haul roads providing access to the site included in the special use permit. The paving on those portions of the haul roads located on public access easements, dedicated right-of-way, or other portions designated by the Commission or Board shall be designed to satisfy load and durability requirements in accordance with Clark County standards.

B. Service roads located within such facilities and any outside area used for parking, loading, or storing motor vehicles, equipment, or materials shall be paved.

3. For rock crushing operations which are located outside Hydrographic Areas 212, 216 or 217, haul roads need not be paved and service roads and parking areas need not be graveled unless otherwise required by the Commission or Board as conditions of the special use permit, or by Clark County Air Quality Regulations.

4. Landscaping, trash enclosure and wall requirements shall not apply to this use.

5. A time limit for the use to be discontinued shall be determined by the Commission or Board. Any application for an extension of time for such special use permit shall demonstrate continued compatibility with any existing use, or proposed use approved by any land use application, within a 1,000 foot radius from any equipment utilized for rock crushing.

6. A security fence is permitted

7. Temporary construction equipment is permitted to exceed the maximum height of the district. (Ord 4052 § 2 (part), 9/2012; Ord 3679 § 1 (part), 9/2008)

A=Accessory Use C=Conditional Use P=Permitted Use S=Special Use Permit T= Administrative Temporary Use Permit Note: If box is empty, use is prohibited
Table
Uses SLUCM CODE Residential Districts Commercial Districts Manufacturing/ Industrial Districts Miscellaneous Districts R-U R-A RE R-D R-1 R-T R-2 RUD R-3 R-4 R-5 CRT C-P C-1 C-2 M-D M-1 M-2 O-S H-2 P-F RVP U-V H-1 Rock Crushing (as a principal use) 3200 S S S
30.44-72a

(Also see “Temporary Outdoor Commercial Event”)

1. Must be set back 600 feet from any non-industrial use.

2. Must not conflict with any franchise agreement.

3. Not permitted in conjunction with vehicle sales.

Note: Applicants are advised to consult with Business License regarding franchise agreement for solid waste disposal service.

Uses permitted outside.

(Ord. 4010 § 3 (part), 4/2012; Ord. 3688 § 7 (part), 10/2008; Ord. 2907 § 6 (part), 7/2003)

1. Must be set back 1,000 feet from any non-industrial use.

2. Service roads located within such facilities and any outside area used for parking, or storing motor vehicles, equipment, or materials shall be paved. Pave all required parking areas over 5,000 square feet. All other activities are subject to Clark County Air Quality Regulations.

3. Must be set back a minimum 200 feet from any other industrial use except accessory uses. Uses permitted outside. (Ord.

NOTE: Landscaping and screening requirements per Table 30.64-2 (Commercial and Special Use).

(Ord. 4077 § 9 (part), 2/2013; Ord. 3635 § 6 (part), 6/2008; Ord. 3397 § 6 (part), 6/2006)

Conditions for Temporary Use Subject to:

1. When located within a parking lot, not more than 30% of the required parking may be reduced.

2. All activities, including live entertainment, temporary structures, and signs, including fencing, shall be set back as follows:

A. 10 feet from all property lines or the minimum separation required by the Clark County Fire Code, whichever is greater.

B. 200 feet from property lines abutting existing residential development.

3. No adult use shall be permitted as a seasonal sales use. (This condition cannot be waived or varied.)

4. No live entertainment shall be permitted except for haunted houses proceeding the Halloween season

5. Time Limit:

A. Halloween/Christmas: sales permitted 30 days prior to the holiday; up to 1 week prior to the 30 days for operation set -up and up to 1 week after the holiday for operation removal.

B. All other seasonal sales permitted 14 days prior to the holiday, including operation set-up, plus one additional day after for operation removal.

6. Access control per 30.60.090 - (Motor Vehicle Access) shall be required.

Continued on Next Page

A=Accessory Use C=Conditional Use P=Permitted Use S=Special Use Permit T= Administrative Temporary Use Permit
If box is empty, use is prohibited
Uses SLUCM CODE Residential Districts Commercial Districts Manufacturing/ Industrial Districts Miscellaneous Districts R-U R-A RE R-D R-1 R-T R-2 RUD R-3 R-4 R-5 CRT C-P C-1 C-2 M-D M-1 M-2 O-S H-2 P-F RVP U-V H-1 Salvage Yard 3900 S
Note:
30.44-73 Table 30.44-1 Global Use Table
Special Use:
Sanitary Land Fill 4200 S
Use:
Special
4010 § 3
4/2012; Ord. 3688 § 7 (part), 10/2008; Ord. 2907 § 6 (part), 7/2003) School 6800 S S S S S S S S S S S S S S S S S S S P S S S
(part),
Seasonal Sales
5900 T T T T T T T T

Secondhand Sales 5900

7. Subject to the approval of the Clark County Fire Department and the issuance of a business license. (This condition cannot be waived or varied)

8. Outside storage of chemicals and/or other hazardous materials must comply with all required conditions for Hazardous Materials Storage per Table 30.44-1 in addition to the conditions listed above. (This condition cannot be waived or varied)

9. Operators of temporary amusement rides or inflatable amusement devices shall carry liability insurance for the seasonal sales event insuring the owner or operator of the amusement ride or inflatable amusement device against liability for injury to persons arising out of the use of an amusement ride or inflatable amusement device in an amount not less than $1,000,000 per occurrence.

10. Temporary amusement rides and inflatable amusement devices shall be installed and operated in accordance with Clark County Code Section 30.32.015.

11. Temporary amusement ride inspections are required and shall satisfy the inspection requirements of the Amusement Ride Standards in Clark County Code Chapter 30.32 as determined by an inspector certified by the National Association of Amusement Ride Safety Officials (NAARSO), or other similarly qualified association or group, or by an engineer licensed in Nevada and qualified to inspect the amusement ride in question.

12. Temporary amusement rides shall have been inspected within 6 months of the seasonal sales event.

13. Operators of any amusement ride or inflatable amusement device shall include a statement with the applicable land use application indicating installation and operation standards will be followed.

NOTES:

• Temporary amusement rides may exceed the height of the zoning district; however, intrusions into airport airspace shall obtain the required approval per Chapter 30.48

• Activities are allowed within the AE-65 and AE-70 Airport Environs overlay subdistricts and need not comply with Table 30.48AE

• If located on an undeveloped lot, landscaping and screening, trash enclosure, and paved access, parking and driveway aisle requirements need not apply; however, dust control measures shall be applied if required by the Department of Environment and Sustainability

• Incidental food and drink sales are allowed.

• Use permitted outside.

• No separation required from multiple family residential uses if the use is part of a qualifying development that opts into the Midtown Maryland Parkway District (See Chapter 30.48 Part P).

(Ord. 4760 § 21 (part), 2/2020; Ord. 4658 § 10 (part), 1/2019; Ord. 4625 § 2 (part), 10/2018; Ord 4239 § 4 (part), 10/2014; Ord 4008 § 29 (part), 3/2012; Ord 3805 § 4 (part), 9/2009; Ord. 3688 § 7 (part), 10/2008; Ord 3586 § 5 (part), 2/2008; Ord. 2907 § 6 (part), 7/2003; Ord. 2741 § 7 (part), 5/2002)

Conditional Use in U-V must be part of a mixed-use development (Section 30.40.310). (Ord. 4658 § 10 (part), 1/2019)

A=Accessory Use C=Conditional Use P=Permitted Use S=Special Use Permit T= Administrative Temporary Use Permit Note: If box is empty, use is prohibited 30.44-74 Table
Uses SLUCM CODE Residential Districts Commercial Districts Manufacturing/ Industrial Districts Miscellaneous Districts R-U R-A RE R-D R-1 R-T R-2 RUD R-3 R-4 R-5 CRT C-P C-1 C-2 M-D M-1 M-2 O-S H-2 P-F RVP U-V H-1 Seasonal Sales (Also see “Temporary Outdoor Commercial Event”) 5900 T T T T T T T T Continued from Previous Page Conditions for Temporary Use Subject to:
30.44-1 Global Use Table
S P S S S C S

Security Services

Deleted. (Ord. 4839 § 9 (part), 1/2021)

Conditional Use in U-V must be part of a mixed-use development (Section 30.40.310).

Special Use Subject to:

1. Density. The maximum density of the residential development may be increased as follows:

a. R-3 and C-2: maximum 22 units per gross acre.

b. R-4: maximum 39 units per gross acre.

c. C-1: maximum 18 units per gross acre.

2. Accessory commercial uses for the residents and their guests may be established providing that;

a. the square footage of all such uses does not exceed 10% of the gross floor area of the buildings in which the principal uses are located; and

b. no exterior signage for accessory commercial uses is established; and

c. all commercial deliveries are made between the hours of 8:00 a.m. and 10:00 p.m.

(Condition #1 cannot be waived or varied.)

(Ord. 4077 § 9 (part), 2/2013; Ord. 4010 § 3 (part), 4/2012; Ord 3296 § 5 (part), 10/2005; Ord. 2741 § 7 (part), 5/2002) Service Bar (Also see “Alcohol, Onpremises Consumption”) Ord 4275 § 7 (part), 3/2015; Ord 3586 § 5 (part), 2/2008)

Special Use in R-U: (This condition cannot be waived or varied.)

Package systems to serve a development which is outside the service area of the local sanitation district, subject to the approval of the Water Reclamation District.

Special Use in M-D, M-1, M-2 and P-F:

1. Must be set back 1,000 feet from any non-industrial use.

2. Outside uses may be permitted as a principal use.

3. Must be set back a minimum 200 feet from any other industrial use except accessory uses accessory to, and located upon, the same lot or parcel as the use.

NOTE: Landscaping and screening requirements per Table 30.64-2 (Industrial Use).

(Ord. 4077 § 9 (part), 2/2013; Ord. 3970 § 5 (part), 8/2011)

A=Accessory Use C=Conditional Use P=Permitted Use S=Special Use Permit T= Administrative Temporary Use Permit
If box is empty, use is prohibited
Uses SLUCM CODE Residential Districts Commercial Districts Manufacturing/ Industrial Districts Miscellaneous Districts R-U R-A RE R-D R-1 R-T R-2 RUD R-3 R-4 R-5 CRT C-P C-1 C-2 M-D M-1 M-2 O-S H-2 P-F RVP U-V H-1
Note:
30.44-75 Table 30.44-1 Global Use Table
Senior Housing 1130 S S S S S C S
Sewage (Wastewater) Treatment Plant 6700 S S S S S

Sex Club

Shed

(Also see “Accessory Uses and Structures”)

This use is prohibited in unincorporated Clark County. (Ord. 2772 § 3, 7/2002)

0 A A A A A A A A A A A

Accessory Use in conjunction with single family dwellings Subject to:

Except for the minimum setback required from a street, required setbacks and separations may be reduced or eliminated for side or rear yard only when shed is screened from the front or any street through the approval of an administrative minor deviation per Table 30.16-8, provided that:

1. Building Code requirements are met. (This condition cannot be waived or varied.)

2. Any shed within the side or rear yard visible from any street or residential development within the urban area must be architecturally compatible with the principal building if structure extends more than 2 feet above an opaque building, fence or wall. Also see required design/development standards in Chapter 30.40 and Table 30.56-2A.

(Ord. 4770 § 7 (part), 3/2020; Ord. 4109 § 3 (part), 7/2013; Ord. 4077 § 9 (part), 2/2013; Ord. 3518 § 9 (part), 5/2007; Ord. 3472 § 7 (part), 1/2007; Ord 3008 § 6 (part), 12/2003; Ord. 2907 § 6 (part), 7/2003; Ord. 2741 § 7 (part) 5/2002)

Shoe Repair

Smog Check

(Also see “Vehicle Maintenance”)

(Ord. 4010 § 3 (part), 4/2012)

Solar Energy –

(Also see “Electric Generation, Distributed”)

Sporting Goods

Conditional Use in U-V must be part of a mixed-use development (Section 30.40.310).

(Ord 3586 § 5 (part), 2/2008)

Conditional Use in U-V must be part of a mixed-use development (Section 30.40.310).

A=Accessory Use C=Conditional Use P=Permitted Use S=Special Use Permit T= Administrative Temporary Use Permit Note: If box is empty, use is prohibited
Uses SLUCM CODE Residential Districts Commercial Districts Manufacturing/ Industrial Districts Miscellaneous Districts R-U R-A RE R-D R-1 R-T R-2 RUD R-3 R-4 R-5 CRT C-P C-1 C-2 M-D M-1 M-2 O-S H-2 P-F RVP U-V H-1
30.44-76 Table
30.44-1 Global Use Table
6200 S P P P P S C S
S
5900
P P S S S C S

Table 30.44-1 Global Use Table

(Also see “Tanning Salon”) (Ord 3008 § 6 (part), 12/2003)

Supper Club

(Also see “Alcohol, On-premises Consumption”) (Ord 4275 § 7 (part), 3/2015; Ord 3586 § 5 (part), 2/2008)

Supportive Housing

(Also see “Assisted / Independent Living Facilities” and “Congregate Care Facility”)

Special Use Subject to:

1. A supportive housing project shall not be approved without written verification from a certified professional engineer (or architect) that the project complies with all applicable HUD requirements for supportive housing.

2. Density. The maximum density of the residential development may be increased as follows:

a. R-3 and C-2: maximum 22 units per gross acre.

b. R-4: maximum 39 units per gross acre.

c. C-1: maximum 18 units per gross acre

3. Accessory commercial uses for the residents and their guests may be established providing that:

a. the square footage of all such uses does not exceed 10% of the gross floor area of the buildings in which the principal uses are located; and

b. no exterior signage for accessory commercial uses is established; and

c. all commercial deliveries are made between the hours of 8:00 a.m and 10:00 p.m. (Conditions #1 and #2 cannot be waived or varied.)

Additionally for U-V: must be part of a mixed-use development per Section 30.40.310 and comply with conditions #1 above (is exempt from conditions #2 and #3 above). (Ord. 4077 § 9 (part), 2/2013; Ord 3296 § 5 (part), 10/2005)

Outdoor sales and display permitted.

NOTE: Landscaping and screening requirements per Table 30.64-2 (Commercial and Special Use). (Ord. 4077 § 9 (part), 2/2013; Ord. 2857 § 10 (part), 2/2003)

Swimming Pool (Outdoor/Indoor) DELETED (Ord. 4770 § 7 (part), 3/2020)

Tailor

(Also see “Personal Services”)

Tailor and Sewing Service

(Also see “Home Occupation” or “Personal Services”)

A=Accessory Use C=Conditional Use P=Permitted Use S=Special Use Permit T= Administrative Temporary Use Permit Note: If box is empty, use is prohibited 30.44-77
Uses SLUCM CODE Residential Districts Commercial Districts Manufacturing/ Industrial Districts Miscellaneous Districts R-U R-A RE R-D R-1 R-T R-2 RUD R-3 R-4 R-5 CRT C-P C-1 C-2 M-D M-1 M-2 O-S H-2 P-F RVP U-V H-1 Sporting Goods - Firearms 5900 S P S S S S S
Suntanning
1130 S S S S S S S
Swap Meets 5900 S S S S S S S S S S S S S S S S S S S S S

Table 30.44-1 Global Use Table

Tanning Salon

(See “Personal Services”)

(Ord. 3688 § 7 (part), 10/2008; Ord 3586 § 5 (part), 2/2008; Ord 3008 § 6 (part), 12/2003; Ord. 2741 § 7 (part) 5/2002)

Conditional use in C-1 Subject to:

1. Must be incidental to a beauty salon.

2. Maximum area for tattoo of 25% of the beauty salon area. Accessory to a resort hotel. (Ord. 3209 § 6 (part), 3/2005; Ord. 2672 § 1 (part), 2001)

Tavern

(Also see “Alcohol, On-premises Consumption”)

(Ord 4275 § 7 (part), 3/2015; Ord 3586 § 5 (part), 2/2008)

Conditional Use Subject to:

1. A time limit to be commensurate with the projected duration of the project.

2. Landscaping, trash enclosures and wall requirements shall not apply to this use; however, a security fence is permitted in conjunction with this use in any zoning district, subject to the requirements for security fences in 30.08.030 and Table 30.64-2.

3. Written consent of property owner(s) prior to issuance of permits or licenses. (Ord. 3229 § 8 (part) 6/2005; Ord. 2741 § 7 (part) 5/2002)

(Also see “Seasonal Sales”)

Conditions for Temporary Use Subject to:

1. The outdoor event must be licensed through, and on the same property as, an existing licensed business, within a model residence complex, or in conjunction with a special use, except that the outdoor event shall not be permitted in conjunction with an accessory commercial use or home occupation.

2. When located within a parking lot, not more than 30% of the required parking may be reduced.

3. All outside activities, including live entertainment, temporary structures, and signs shall be set back as follows:

A. 10 feet from all property lines or minimum separation required by Clark County Fire Code, whichever is greater

B. 200 feet from property lines abutting existing residential development.

C. For live entertainment or any other sound amplified by electronic means, 500 feet from property lines abutting existing residential development.

D. Except for Resort Hotels, live entertainment or amplified sound may only be conducted during daytime hours.

4. Pedestrian and vehicular controls shall be provided so that sidewalks and rights-of-way are not obstructed.

Continued on Next Page

C=Conditional
If box is empty, use is
A=Accessory Use
Use P=Permitted Use S=Special Use Permit T= Administrative Temporary Use Permit Note:
prohibited 30.44-77a
Uses SLUCM CODE Residential Districts Commercial Districts Manufacturing/ Industrial Districts Miscellaneous Districts R-U R-A RE R-D R-1 R-T R-2 RUD R-3 R-4 R-5 CRT C-P C-1 C-2 M-D M-1 M-2 O-S H-2 P-F RVP U-V H-1
Tattoo 6200 C P P P A
Taxidermist 6200 P P Temporary Government Facilities 0 C C C C C C C C C C C C C C C C C C C C C C C C
Temporary Outdoor Commercial Event
5900 T T T T T T T T T T T T T T T T T T T T T

(Also see “Seasonal Sales”)

Continued from Previous Page

Conditions for Temporary Use Subject to:

5. Time Limit and Maximum Number of Events:

A. For resort hotels, no limit on the number of events and maximum 10 days per event;

B. For commercial and industrial developments, and special uses within residential or R-V-P districts, or within P-F maximum one, 10 day event in a calendar month with no more than a total of 12 events per calendar year;

C. For model units in residential developments, maximum one, 3 day event in a calendar month with no more than a total of 12 events per calendar year.

D. Maximum of 1 week for set-up and 1 week for operational removal.

6. The outdoor event may not involve live entertainment in C-P districts.

7. No adult uses permitted. (This condition cannot be waived or varied)

8. Operators of temporary amusement rides or inflatable amusement devices shall carry liability insurance for the event insuring the owner or operator of the amusement ride or inflatable amusement device against liability for injury to persons arising out of the use of an amusement ride or inflatable amusement device in an amount not less than $1,000,000 per occurrence.

9. Temporary amusement rides and inflatable amusement devices shall be installed and operated in accordance with Clark County Code Section 30.32.015.

10. Temporary amusement ride inspections are required and shall satisfy the inspection requirements of the Amusement Ride Standards in Clark County Code Chapter 30.32 as determined by an inspector certified by the National Association of Amusement Ride Safety Officials (NAARSO), or other similarly qualified association or group, or be an engineer licensed in Nevada and qualified to inspect the amusement ride in question.

11. Temporary amusement rides shall have been inspected within 6 months of the event.

12. Operators of any amusement ride or inflatable amusement device shall include a statement with the applicable land use application indicating installation and operation standards will be followed.

NOTES:

• Activities are allowed within the AE-65 and AE-70 Airport Environs overlay subdistricts and need not comply with Table 30.48-AE.

• Outdoor events in conjunction with existing parks and public schools in a P-F district, 1 day private parties in residential developments, motion picture and television production, and groundbreaking ceremonies for approved uses are exempt from the regulations of this section.

• Temporary amusement rides may exceed the height of the zoning district; however, intrusions into airport airspace shall obtain the required approval per Chapter 30.48.

• On-site paving, including parking and drive aisles shall not be required provided all Clark County Air Quality Regulations are met.

• Incidental food and drink sales are allowed.

• No Separation required from multiple family residential uses if the use is part of a qualifying development that opts into the Midtown Maryland Parkway District (See Chapter 30.48 Part P).

(Ord. 4658 § 10 (part), 1/2019; Ord. 4625 § 2 (part), 10/2018; Ord 4239 § 4 (part), 10/2014; Ord. 4127 § 2 (part), 10/2013; Ord. 3970 § 5 (part), 8/2011; Ord 3924 § 6 (part), 1/2011;Ord 3805 § 4 (part), 9/2009; Ord. 3757 § 5 (part), 4/2009; Ord. 3688 § 7 (part), 10/2008; Ord. 3635 § 6 (part), 6/2008; Ord. 2907 § 6 (part), 7/2003; Ord. 2890 § 5 (part), 4/2003; Ord. 2741 § 17 (part), 5/2002; Ord. 2646 § 1, 2001)

A=Accessory Use C=Conditional Use P=Permitted Use S=Special Use Permit T= Administrative Temporary Use Permit Note: If box is empty, use is prohibited
Uses SLUCM CODE Residential Districts Commercial Districts Manufacturing/ Industrial Districts Miscellaneous Districts R-U R-A RE R-D R-1 R-T R-2 RUD R-3 R-4 R-5 CRT C-P C-1 C-2 M-D M-1 M-2 O-S H-2 P-F RVP U-V H-1 Temporary Outdoor Commercial Event
30.44-78 Table 30.44-1 Global Use Table
5900 T T T T T T T T T T T T T T T T T T T T T

Table 30.44-1 Global Use Table

Conditional Use:

1. Must meet Building Code standards for a commercial building if applicable.

2. Must be located on property included on the approved tentative map, or approved land use application, or within 330 feet of such area

3. Landscaping, trash enclosure, paved parking and screening requirements shall not apply, except as required by the Building Code.

4. Time Limit - after last unit within the development has been sold, the sales office shall be removed, or once Certificate of Occupancy has been issued on final building, the leasing office shall be removed.

5. Shall be set back a minimum of 10 feet from any property line.

6. Sales office prior to the recording of a subdivision map.

A. A final map technical review must be submitted and off-site improvement bonds have been posted for the first phase of the subdivision.

B. Paved access and adequate access controls must be provided to all structures, as required by Chapter 30.60.

C. The issuance of a permit for construction shall not be construed as a commitment by the County to record the final map or to approve any zoning matter.

NOTE: Leasing offices are permitted permanently within community buildings, managers’ offices, model units of apartment complexes or manufactured home parks, or commercial/industrial complexes. (Ord. 4367 § 6 (part), 2/2016; Ord. 3757 § 5 (part), 4/2009; Ord. 3635 § 6 (part), 6/2008; Ord. 3055 § 4 (part), 4/2004)

Conditional Use Subject to:

1. A time limit to be commensurate with the projected duration of a construction project or until a damaged or destroyed office is reconstructed providing building permits have been issued for the construction or reconstruction.

2. Temporary office need not be on the same lot as the construction project, but it must be located within 1/4 of a mile of the site for which it is operating.

3. For commercial/retail, required parking must be paved prior to occupancy of the temporary structure.

4. Landscaping, trash enclosures and wall requirements shall not apply to this use.

5. Written consent of property owner(s) prior to issuance of permits or licenses. ( Ord. 3354 § 6 (part), 2/2006; Ord. 2741 § 7 (part), 5/2002)

Conditional Use in U-V must be part of a mixed-use development (Section 30.40.310).

Accessory Use in H-1 when in conjunction with a resort hotel. (Ord. 4010 § 3 (part), 4/2012)

Accessory Use when in conjunction with a resort hotel or hotel/motel having 20 or more guest rooms. (Ord 4658 § 10 (part), 1/2019; Ord. 3472 § 7 (part), 1/2007)

A=Accessory Use C=Conditional Use P=Permitted Use S=Special Use Permit T= Administrative Temporary Use Permit
If box is empty, use is prohibited
Uses SLUCM CODE Residential Districts Commercial Districts Manufacturing/ Industrial Districts Miscellaneous Districts R-U R-A RE R-D R-1 R-T R-2 RUD R-3 R-4 R-5 CRT C-P C-1 C-2 M-D M-1 M-2 O-S H-2 P-F RVP U-V H-1 Temporary Sales / Leasing Office (Also see “Model Residence”) 1110 1115 5900 C C C C C C C C C C C C C C C C C C C C
Note:
30.44-79
Temporary Office, Commercial 0 C C C C C C C C C C C C C C C C C C C C C C C C
Theater
S P S S C S,
7212
A
Time Share 1510 1130 S S S P S S S,A

Tourist Club

(Also see “Live Entertainment; Onpremises Consumption of Alcohol; Outside Dining, Drinking and Cooking; and Temporary Outdoor Commercial Event”)

Conditional Use in M-1 and M-D and Special Use C-2 and M-2 in Subject to:

(The Commission or Board may consider waiving these conditions with a special use permit.)

1. Must be set back a minimum 200 feet from any residential use on a separate property and be visually and acoustically buffered from the residential use.

2. All overhead doors shall be directed away from residential uses and public rights-of-ways unless screened from a street by landscaping or another building.

3. No outside storage in C-2. This condition cannot be waived or varied. (Ord. 3549 § 7 (part), 9/2007)

7212

Special Use Subject to:

1. Permitted only on the east and west sides of Las Vegas Boulevard South between Sahara Avenue on the north and Russell Road on the South. (This condition cannot be waived or varied.)

2. The primary customer entrance must front on and be addressed to Las Vegas Boulevard South. (This condition cannot be waived or varied.)

3. Must maintain a consistent and distinct architectural theme throughout the interior and exterior of the establishment

4. Must contain a minimum 10,000 square feet for the primary use, exclusive of office, kitchen, storage, or restroom areas, that includes the following:

a. a bar and lounge with a minimum of 10 seating accommodations at the bar and an overall minimum seating accommodation of 25 for the bar/lounge area; and

b. a restaurant with seating accommodations for a minimum of 250 customers.

5. Must be set back a minimum 200 feet from any residential use on a separate property and be visually and acoustically buffered from the residential use.

6. Sight zone requirements per Chapter 30.52 and Airport Environs requirements per Chapter 30.48 shall be maintained. (These conditions cannot be waived or varied.)

Exceptions: a special use permit is not required for an existing tavern that seeks to be reclassified as a tourist club, provided that the established use complies with conditions #1 through #6 above.

Note: Chapter 8.20 of the Clark County Code regulates the sale of alcohol and cannot be waived or varied (see Business License Department). (Ord 4275 § 7 (part), 3/2015; Ord. 2757 § 2 (part), 6/2002)

Towing Service

Outside storage is permitted subject to conditions for outside storage (See “Outside Storage”) (Ord. 4559 § 8 (part), 1/2018; Ord. 4010 § 3 (part), 4/2012;Ord. 2741 §7 (part), 5/2002)

A=Accessory Use C=Conditional Use P=Permitted Use S=Special Use Permit T= Administrative Temporary Use Permit Note: If box is empty, use is prohibited
Uses SLUCM CODE Residential Districts Commercial Districts Manufacturing/ Industrial Districts Miscellaneous Districts R-U R-A RE R-D R-1 R-T R-2 RUD R-3 R-4 R-5 CRT C-P C-1 C-2 M-D M-1 M-2 O-S H-2 P-F RVP U-V H-1 Tire Sales and Installation 6400 S C C S
30.44-80 Table 30.44-1 Global Use Table
5800
5900
S
S P P

Conditional Use in U-V must be part of a mixed-use development per Section 30.40.310. (Ord. 3397 §6 (part), 6/2006)

NOTE: Landscaping and screening requirements per Table 30.64-2 (Commercial and Special Use).

4077 § 9 (part), 2/2013; Ord. 3397 §6 (part), 6/2006)

Conditional Use in U-V must be part of a mixed-use development per Section 30.40.310.

NOTE: Landscaping and screening requirements per Table 30.64-2 (Commercial and Special Use).

(Ord. 4077 § 9 (part), 2/2013; Ord. 3397 §6 (part), 6/2006)

NOTE: Landscaping and screening requirements per Table 30.64-2 (Commercial and Special Use).

(Ord. 4077 § 9 (part), 2/2013; Ord. 3635 § 6 (part), 6/2008;Ord. 3354 § 6 (part), 2/2006; Ord. 3174 § 5 (part), 1/2005)

Conditional Use in C-2 Subject to: maximum of 5 automobiles.

Accessory Use when in conjunction with a resort hotel or hotel/motel having 20 or more guest rooms

(Ord. 3993 § 3 (part), 12/2011; Ord. 3970 § 5 (part), 8/2011; Ord. 2741 §7 (part), 5/2002)

Special Use in M-D, M-1 and P-F: (Special Use Permit shall be approved by the Board)

1. Where abutting a residential use:

a. 150 foot setback must be maintained from the loading spaces/docks to the property line of the residential use, if applicable.

b. An intense landscape buffer shall be provided per Figure 30.64-12.

2. If applicable, loading spaces must be screened from any street with landscaping, a building, etc.

3. Outside storage is permitted subject to conditions for outside storage (See “Outside Storage”).

When located in the P-F zoning district, the Board may consider waiving the above conditions with the approval of a special use permit.

(Ord. 4123 § 3, 9/2013)

A=Accessory Use C=Conditional Use P=Permitted Use S=Special Use Permit
Administrative Temporary Use Permit
If box is empty, use is prohibited
Uses SLUCM CODE Residential Districts Commercial Districts Manufacturing/ Industrial Districts Miscellaneous Districts R-U R-A RE R-D R-1 R-T R-2 RUD R-3 R-4 R-5 CRT C-P C-1 C-2 M-D M-1 M-2 O-S H-2 P-F RVP U-V H-1 Training Facility, Instruction 6800 S S P P S S C S
T=
Note:
30.44-81 Table 30.44-1 Global Use Table
Training Facility, Major 6800 S S S S S S S S S S S S S S S S S S S S S S S S
(Ord.
Training Facility, Minor 6800 S S S S S S S S S S S S S P P P S S S P S C S
Transitional Living Facility for Released Offenders 6300 S S S S S S S S S S S S S S S S S S S S S
Transportation Service (including tour guide services) 4900 C P P S S S S S, A
Truck Staging Area 6300 S S S

Conditional Use in M-D and M-1 and Special Use in C-2 and M-2 Subject to:

1. No overhead doors shall face toward a public street or residential development unless screened from view by landscaping or another building.

2. Minimum 30 foot setback for all buildings and canopies from the right-of-way line of any section line street.

3. Minimum 20 foot setback for all buildings and canopies from the right-of-way line of any non-section line street.

4. Must be set back a minimum 200 feet from any residential use on a separate property.

5. Underground fuel tanks must be set back a minimum 1,000 feet from any well used as a source of potable water, lake, or major wash unless constructed per the Southern Nevada Health District Department of Environmental Health’s more stringent structural requirements.

(Ord. 4010 § 3 (part), 4/2012; Ord. 3472 § 7 (part), 1/2007; Ord. 2857 § 10 (part) 2/2003)

A=Accessory Use C=Conditional Use P=Permitted Use S=Special Use Permit T= Administrative Temporary Use Permit Note: If box is empty, use is prohibited
Uses SLUCM CODE Residential Districts Commercial Districts Manufacturing/ Industrial Districts Miscellaneous Districts R-U R-A RE R-D R-1 R-T R-2 RUD R-3 R-4 R-5 CRT C-P C-1 C-2 M-D M-1 M-2 O-S H-2 P-F RVP U-V H-1 Truck Stop 2900 S C C S
30.44-81a Table 30.44-1 Global Use Table

Vacation Sales (O.P.C. Booth)

(Also see “Office”)

(Ord. 4010 § 3 (part), 4/2012)

Conditional Use and Special Use Subject to:

1. Must be set back 600 feet from any non-industrial use.

2. Not permitted in conjunction with vehicle sales. Use is permitted outside (Ord. 4010 § 3 (part), 4/2012; Ord 3688 § 7 (part), 10/2008; Ord. 2907 § 6 (part), 7/2003)

Automobile and Off-Highway Vehicle Conditional Use in C-2, M-D, and M-1, and Special Use in C-1, H-1 and H-2 Subject to:

1. No service bay door shall face a street unless screened from the street by landscaping or a building.

2. Outside smog check is permitted, provided equipment is stored within an enclosed building.

3. Must have a minimum separation of 200 feet from any residential use unless separated by a collector or arterial street or buffered from the residential use by a building.

Automobile and Off-Highway Vehicle Accessory Use in H-1 Subject to:

1. Must be in conjunction with automobile or off-highway vehicle sales.

2. All maintenance operations and storage of parts, equipment, and/or disabled vehicles must be completely enclosed within the building.

3. Compliance with the requirements, conditions, and restrictions for accessory uses as listed for Resort Hotels in this Chapter. (The conditions for accessory use in H-1 may not be waived or varied.)

Commercial Vehicle, Recreational Vehicle, Trailer and Watercraft Conditional in C-2, M-1 and Special Use in M-D Subject to:

1. In M-1 must maintain a minimum 200 foot separation from any residential use on a separate property.

2. In M-D must maintain a minimum 200 foot separation from residential use.

3. In C-2 must be in conjunction with the corresponding Vehicle Sales.

4. Outside smog check is permitted, provided equipment is stored within an enclosed building.

(Ord. 4770 § 7 (part), 3/2020; Ord. 4559 § 8 (part), 1/2018; Ord. 4010 § 3 (part), 4/2012; Ord 3757 § 5 (part), 4/2009; Ord. 3586 § 5 (part), 2/2008; Ord. 2907 § 6 (part), 7/2003; Ord 2835 § 1 (part), 12/2002; Ord. 2700 § 2 (part), 12/2001)

A=Accessory Use C=Conditional Use P=Permitted Use S=Special Use Permit T= Administrative Temporary Use Permit
If box is empty, use is prohibited
Uses SLUCM CODE Residential Districts Commercial Districts Manufacturing/ Industrial Districts Miscellaneous Districts R-U R-A RE R-D R-1 R-T R-2 RUD R-3 R-4 R-5 CRT C-P C-1 C-2 M-D M-1 M-2 O-S H-2 P-F RVP U-V H-1 Union Hall 6990 S S P P S
Note:
30.44-82 Table 30.44-1 Global Use Table
Vehicle
3400 S P
Assembly
Vehicle Dismantling
3400 S C
Yard
Vehicle Maintenance 6400 S C C, S C C S S, A

Table 30.44-1 Global Use Table

Vehicle Paint/Body Shop

(Also see “Automobile Minor Paint/Body Shop”)

Automobile and Off-Highway Vehicle Conditional Use in M-1:

1. Service bay doors shall not face toward a public street or residential development, unless screened by another building or landscaping.

2. Must have a minimum separation of 200 feet from any residential use unless separated by a collector or arterial street or buffered from the residential use by a building.

Automobile and Off-Highway Vehicle Special Use in C-2, M-D and M-2:

1. Must be accessory to automobile or off-highway vehicle sales.

2. Service bay doors shall not face toward a public street or residential development, unless screened by another building or landscaping.

3. Must have a minimum separation of 200 feet from any residential use unless separated by a collector or arterial street or buffered from the residential use by a building.

Commercial Vehicle and Trailer Conditional in M-1 and Special Use in M-D and M-2 Subject to:

1. Must be set back minimum 200 feet from any residential use on a separate property.

2. No service bay door shall face a street unless screened with landscaping or a building.

Recreational Vehicle and Watercraft Conditional in M-D, M-1 and M-2 and Special Use in C-2 Subject to:

1. Must be set back minimum 200 feet from any residential use on a separate property.

2. No service bay door shall face a street unless screened with landscaping or a building. (Ord. 4010 § 3 (part), 4/2012; Ord 3586 § 5 (part), 2/2008; Ord. 2658 § 2, 2001)

A=Accessory Use C=Conditional Use P=Permitted Use S=Special Use Permit T= Administrative Temporary Use Permit Note: If box is empty, use is prohibited
Uses SLUCM CODE Residential Districts Commercial Districts Manufacturing/ Industrial Districts Miscellaneous Districts R-U R-A RE R-D R-1 R-T R-2 RUD R-3 R-4 R-5 CRT C-P C-1 C-2 M-D M-1 M-2 O-S H-2 P-F RVP U-V H-1
30.44-83
S C, S C C, S
6400

Automobile and Off-Highway Vehicle Conditional Use in C-2, M-1, M-D, U-V and Special Use in C-1, P-F, and H-1 Subject to:

1. Maximum 5 vehicles when business has common parking with at least 1 other business. However, a site plan with parking analysis may be submitted to the Zoning Administrator who will determine if more vehicles may be permitted.

2. Outside storage/display of vehicles whose primary purpose is moving goods shall be permitted only if not visible from public streets or residential developments.

3. If in U-V must be part of a mixed-use development (Section 30.40.310).

Automobile and Off-Highway Vehicle Accessory Use in H-1 when in conjunction with a resort hotel or hotel/motel having 50 or more guest rooms; no limit on number of vehicles.

Commercial Vehicle, and Trailer Conditional Use in C-2 and Special Use in C-1 Subject to:

1. Maximum 5 vehicles when business has common parking with at least 1 other business. However, a site plan with parking analysis may be submitted to the Zoning Administrator who will determine if more vehicles may be permitted.

2. Outside storage/display shall be permitted only if not visible from public streets or residential developments.

Commercial Vehicle, Recreational Vehicle, Trailer and Watercraft Conditional in M-D, M-1 and M-2 subject to:

1. Maximum 5 vehicles outside when business has common parking with at least 1 other business. However, a site plan with parking analysis may be submitted to the Zoning Administrator who will determine if more vehicles may be permitted.

2. Outside storage/display shall be permitted only if not visible from public streets or residential developments.

Commercial Vehicle, Trailer Conditional Use in H-2 Subject to:

1. Must be in conjunction with a legally approved commercial vehicle repair business.

2. Outside storage/display shall be permitted only if not visible from public streets or residential developments.

Recreational Vehicle and Watercraft Special Use in C-2, H-2 and H-1 Subject to:

1. Maximum 5 vehicles outside when business has common parking with at least 1 other business. However, a site plan with parking analysis may be submitted to the Zoning Administrator who will determine if more vehicles may be permitted.

2. Outside storage/display shall be permitted only if not visible from public streets or residential developments. Watercraft Accessory Use in H-1 when in conjunction with a resort hotel or hotel/motel having 50 or more guest rooms; no limit on number of vehicles.

Use is permitted outside. Outside storage/display must be on site unless located on a site with appropriate land use approval. (Ord 4338 § 1, 11/2015; Ord 4275 § 7 (part), 3/2015; Ord. 4077 § 9 (part), 2/2013; Ord. 4010 § 3 (part), 4/2012)

A=Accessory Use C=Conditional Use P=Permitted Use S=Special Use Permit T= Administrative Temporary Use Permit Note: If box is empty, use is prohibited
Table
Uses SLUCM CODE Residential Districts Commercial Districts Manufacturing/ Industrial Districts Miscellaneous Districts R-U R-A RE R-D R-1 R-T R-2 RUD R-3 R-4 R-5 CRT C-P C-1 C-2 M-D M-1 M-2 O-S H-2 P-F RVP U-V H-1 Vehicle Rental 6300 5500 S S, C C C C C S C S,A
30.44-84
30.44-1 Global Use Table

Table 30.44-1 Global Use Table

Vehicle Repair (For accessory repair at residence, See definition in Chapter 30.08)

(Also see “Automobile Hobby Repair & Restoration”)

Automobile Conditional Use in R-U, R-A, R-E, R-D, R-1 and R-T Subject to a Zoning Compliance Application: (These conditions cannot be waived or varied; Repair does not include restoration)

1. Must be located within Community District 5 and outside the Red Rock Design Overlay.

2. Must be accessory to a residential use

3. Minimum 20,000 square foot lot.

4. Maximum of 2 automobiles which are not owned by the resident or closely held corporation of the resident.

5. Must be located within side and rear yards only.

6. Must be screened from adjacent properties.

7. Must be set back a minimum of 50 feet or 40% of the length of the lot from the front property line.

8. All repair must be done on an impervious surface.

9. Nothing shall be stacked or piled above the height of the block wall or screening or otherwise constitute a dangerous structure or condition pursuant to Clark County Code, Title 11, Section 11.06.010.

10. All painting must be performed in a location approved by the Clark County Department of Air Quality.

11. Sign shall be limited to nameplates or Boarding Stable signage per Table 30.72-1.

12. Letters of consent from property owners within a 300-foot radius shall be submitted with the Zoning Compliance Application.

Automobile and Off-Highway Vehicle Special Use in C-2 and M-2 and Conditional Use in M-D and M-1 Subject to:

1. No service bay door shall face a street unless screened with landscaping or a building.

2. Must have a minimum separation of 200 feet from any residential use unless separated by a collector or arterial street or buffered from the residential use by a building.

Automobile and Off-Highway Vehicle Accessory Use in H-1 Subject to;

1. Must be in conjunction with automobile or off-highway vehicle sales.

2. All repair operations and storage of parts, equipment, and/or disabled vehicles must be completely enclosed within the building.

3. Compliance with the requirements, conditions, and restrictions for accessory uses as listed for Resort Hotels in this Chapter. The conditions for accessory use in H-1 may not be waived or varied.

Commercial Vehicle and Trailer Conditional in M-1 and Special Use in M-D and M-2 Subject to:

1. When located within M-D, must be in conjunction with a related principal use which is conducted indoors.

2. Must be set back minimum 200 feet from any residential use on a separate property.

3. No service bay door shall face a street unless screened with landscaping or a building.

Recreational Vehicle and Watercraft Special Use in C-2:

1. Must be in conjunction with recreational vehicle or watercraft sales only.

2. No service bay door shall face a street unless screened with landscaping or a building.

3. Must have a minimum separation of 200 feet from any residential use unless separated by a collector or arterial street or buffered from the residential use by a building.

Continued on next page.

A=Accessory Use C=Conditional Use P=Permitted Use S=Special Use Permit T= Administrative Temporary Use Permit Note: If box is empty, use is prohibited
Uses SLUCM CODE Residential Districts Commercial Districts Manufacturing/ Industrial Districts Miscellaneous Districts R-U R-A RE R-D R-1 R-T R-2 RUD R-3 R-4 R-5 CRT C-P C-1 C-2 M-D M-1 M-2 O-S H-2 P-F RVP U-V H-1
30.44-85
6400 3400 C C C C C C S C, S C S A

Table 30.44-1 Global Use Table

Vehicle Repair (For accessory repair at residence, See definition in Chapter 30.08)

(Also see “Automobile Hobby Repair & Restoration”)

Continued from previous page.

Recreational Vehicle and Watercraft Conditional Use in M-D and M-1 and Special Use in M-2 Subject to:

1. When located within M-D, must be in conjunction with a related principal use which is conducted indoors.

2. No service bay door shall face a street unless screened with landscaping or a building.

3. Must have a minimum separation of 200 feet from any residential use unless separated by a collector or arterial street or buffered from the residential use by a building.

(Ord. 4010 § 3 (part), 4/2012: Ord 3993 § 3 (part), 12/2011; Ord 3586 § 5 (part), 2/2008; Ord. 3190 § 2 (part), 2/2005; Ord. 2907 § 6 (part), 7/2003; Ord. 2835 § 1 (part), 12/2002)

A=Accessory Use C=Conditional Use P=Permitted Use S=Special Use Permit T= Administrative Temporary Use Permit
If box is empty, use is prohibited
Uses SLUCM CODE Residential Districts Commercial Districts Manufacturing/ Industrial Districts Miscellaneous Districts R-U R-A RE R-D R-1 R-T R-2 RUD R-3 R-4 R-5 CRT C-P C-1 C-2 M-D M-1 M-2 O-S H-2 P-F RVP U-V H-1
Note:
30.44-86
6400 3400 C C C C C C S C, S C S A

Automobile and Off-Highway Vehicle Conditional Use in C-2, M-1 and M-D and Special Use in C-1 and M-2:

1. Maximum 5 automobiles or off-highway vehicles outside when business has common parking with at least 1 other business. However, a site plan with parking analysis may be submitted to the Zoning Administrator who will determine if more automobiles or off-highway vehicles may be permitted.

2. Outside display of automobiles or off-highway vehicles may be permitted.

3. Test-drives shall not be permitted on any residential local street. Any request to waive this condition shall be accompanied by a testdriving plan with a map showing which streets are proposed to be used for the test-driving.

Automobile Accessory Use in P-F Subject to:

1. Operating only within an approved airport facility.

2. Sales must be conducted by an automobile rental company.

3. Sales must be wholesale only. These conditions cannot be waived or varied.

Automobile Accessory Use in H-1 Subject to:

1. Permitted only in conjunction with a resort hotel or a hotel/motel, each with a minimum 2,000 guest rooms.

2. No more than 10 automobiles may be displayed and/or stored outside.

3. The selling price of any automobile shall be no less than $50,000.

4. Compliance with the requirements, conditions, and restrictions for accessory uses as listed for Resort Hotels in this Chapter.

5. Test-drives shall not be permitted on any residential local street. Any request to waive this condition shall be accompanied by a testdriving plan with a map showing which streets are proposed to be used for the test-driving.

(The conditions #1-4 for accessory use in H-1 may not be waived or varied.

Special Use in H-1 when it is the principal use.

Commercial Vehicle, Recreational Vehicle, Trailer and Watercraft Conditional in M-D, M-1 and M-2 Subject to:

1. Maximum 5 vehicles outside when business has common parking with at least 1 other business. However, a site plan with parking analysis may be submitted to the Zoning Administrator who will determine if more vehicles may be permitted.

Watercraft and Trailer Accessory Use in H-1 Subject to:

Must be in conjunction with a resort hotel or hotel/motel having 50 or more guest rooms.

Recreational Vehicle, Watercraft and Trailer Special Use in C-2 Subject to:

1. Maximum 5 vehicles outside when business has common parking with at least 1 other business. However, a site plan with parking analysis may be submitted to the Zoning Administrator who will determine if more vehicles may be permitted. Outside sale/rental and display are permitted.

Trailer Accessory When in Conjunction with Automobile and Watercraft Sales (Ord 4275 § 7 (part), 3/2015; Ord 4152 § 6 (part), 12/2013; Ord. 4077 § 9 (part), 2/2013; Ord. 4010 § 3 (part), 4/2012; Ord. 3924 § 6 (part), 1/2011; Ord 3586 § 5 (part), 2/2008; Ord. 3160 § 11 (part), 11/2004; Ord. 2835 § 1 (part), 12/2002; Ord. 2643 § 2, 2001)

A=Accessory Use C=Conditional Use P=Permitted Use S=Special Use Permit T= Administrative Temporary Use Permit Note: If box is empty, use is prohibited
Uses SLUCM CODE Residential Districts Commercial Districts Manufacturing/ Industrial Districts Miscellaneous Districts R-U R-A RE R-D R-1 R-T R-2 RUD R-3 R-4 R-5 CRT C-P C-1 C-2 M-D M-1 M-2 O-S H-2 P-F RVP U-V H-1 Vehicle Sales 6300 5500 S C, S C, S C C, S A S, A
30.44-87 Table 30.44-1 Global Use Table

Table 30.44-1 Global Use Table

Vehicle Wash

(Also see “Accessory Commercial” definition in Chapter 30.08)

Automobile and Off-Highway Vehicle Conditional Use in C-2, M-D, M-1, H-1, and U-V and Special Use in C-1, & H-2 Subject to:

1. Must be set back minimum 200 feet from any residential use.

2. No service bay door shall face a street unless screened with landscaping or a building.

3. Must be in accordance with local health and sanitation regulations regarding waste water disposal. This condition cannot be waived or varied.

4. If in U-V must be part of a mixed-use development (Section 30.40.310).

Automobile Accessory Use in H-1 in conjunction with resort hotels.

Commercial Vehicle, Trailer, Recreational Vehicle, and Watercraft Special Use in C-2, M-D, M-1 and M-2 Subject to: must maintain a 750 foot separation from any residential use on a separate property.

Outside uses are permitted. (Ord. 4770 § 7 (part), 3/2020; Ord 4275 § 7 (part), 3/2015; Ord 4152 § 6 (part), 12/2013; Ord. 4010 § 3 (part), 4/2012)

Special Use in R-U and R-A Subject to: Must be in Community District 5. This condition cannot be waived or varied.

Conditional Use in M-1:

Outside kennels are allowed provided there is a minimum setback of 500 feet from any residential use

Special Use in C-P, C-1 and H-2, and Conditional Use in C-2, M-D and U-V:

1. Maximum of 25% of total floor area may be used for the boarding of animals.

2. No dog runs or kennels outside.

3. Noise levels must comply with Animal Protection Services regulations.

4. If in U-V must be part of a mixed-use development per Section 30.40.310

NOTE: Principal use shall determine requirements per Chapter 30.56 and 30.64. (Ord. 4960 § 19 (part), 7/2022; Ord. 4077 § 9 (part), 2/2013)

Video Store Deleted. (Ord. 4839 § 9 (part), 1/2021)

6370

A=Accessory Use C=Conditional Use P=Permitted Use S=Special Use Permit T= Administrative Temporary Use Permit Note: If box is empty, use is prohibited
Uses SLUCM CODE Residential Districts Commercial Districts Manufacturing/ Industrial Districts Miscellaneous Districts R-U R-A RE R-D R-1 R-T R-2 RUD R-3 R-4 R-5 CRT C-P C-1 C-2 M-D M-1 M-2 O-S H-2 P-F RVP U-V H-1
30.44-88
6400 5500 S C, S S, C S, C S S C C, A
Veterinary Clinic and Service 8200 S S S S C C C S C
Warehouse/Storage - As Principal Use (Also see “Distribution Center”) (Ord. 3635 § 6 (part), 6/2008) P P S

Table 30.44-1 Global Use Table

Uses

Waste Management and Related Uses

(Also see “Interim Package Wastewater Treatment Plant”, “Package Wastewater Treatment Plant”, “Public Storage Bin Facility”, “Reclamation Facility”, “Refuse Transfer Station”, “Sanitary Land Fill”, “Sewage (Wastewater) Treatment Plant”)

(Ord 3586 § 5 (part), 2/2008) Watch/Small

Conditional Use in C-P-and U-V:

1. No refinishing of wood.

2. If in U-V must be part of a mixed-use development per Section 30.40.310.

Conditional Use in M-1 and Special Use in M-2 Subject to: the manufactured home being screened from right-of-way. (Ord. 2741 § 7 (part), 5/2002)

Accessory Use in all Residential Districts Subject to:

1. Locating within an approved recreational vehicle and/or boat storage area within the residential subdivision.

2. The manufactured home shall not be visible from a public right-of-way.

3. Locating on a parcel of 40,000 square feet or more.

4. Locating within a common area controlled by a homeowner’s association. (Ord 3805 § 4 (part), 9/2009)

Conditional Use: Must be set back minimum 200 feet from any residential use on a separate property. (Ord. 4010 § 3 (part), 4/2012)

Accessory Use when in conjunction with a resort hotel, banquet and/or reception facility, or recreational facility. (This condition cannot be waived or varied.) All plans must be approved by the Commission or Board. Use is permitted outside. (Ord. 4658 § 10 (part), 1/2019; Ord. 4077 § 9 (part), 2/2013)

Use C=Conditional Use
Use
Use Permit
Administrative
Permit
use
A=Accessory
P=Permitted
S=Special
T=
Temporary Use
Note: If box is empty,
is prohibited 30.44-89
SLUCM CODE Residential Districts Commercial Districts Manufacturing/ Industrial Districts Miscellaneous Districts R-U R-A RE R-D R-1 R-T R-2 RUD R-3 R-4 R-5 CRT C-P C-1 C-2 M-D M-1 M-2 O-S H-2 P-F RVP U-V H-1
Clock Repair 6400 C P P P P C S
Watchman’s Manufactured Home 1900 1110 A A A A A A A A A A A S S S C S S S S S S S
Watercraft Building 3400 C C
Wedding Chapel 7230 A A A A A A A A A A A A A A A A A A A A A A A A

Table 30.44-1 Global Use Table

(Also see “Home Occupation”)

Accessory Use when accessory to primary retail business. (This condition cannot be waived or varied)

Note: For Wholesale Food Processing, see Food Processing. (Ord. 3688 § 7 (part), 10/2008) Wildlife Preserves

Wine Sales

(Also see “Alcohol, Beer and Wine Sales”) (Ord. 3635 § 6 (part), 6/2008)

(Ord. 2582 § 3, 2001; Ord. 2573 § 9, 2001; Ord. 2572 § 1, 2001; Ord. 2560 § 3, 2001; Ord. 2564 § 1, 2001; 2552 § 1, 2001; Ord. 2549

1, 2001; Ord. 2545

2, 2000; Ord. 2544

1, 2001; Ord. 2523 § 1, 2000; Ord. 2522 § 2, 2000; Ord. 2521 § 1, 2000; Ord. 2510 § 10, 2000; Ord. 2505 § 2, 2000; Ord. 2504 § 1, 2000)

A=Accessory Use C=Conditional Use

P=Permitted Use

S=Special Use Permit

Note: If box is empty, use is prohibited

T= Administrative Temporary Use Permit

30.44-90

Uses SLUCM CODE Residential Districts Commercial Districts Manufacturing/ Industrial Districts Miscellaneous Districts R-U R-A RE R-D R-1 R-T R-2 RUD R-3 R-4 R-5 CRT C-P C-1 C-2 M-D M-1 M-2 O-S H-2 P-F RVP U-V H-1
Wholesale
6370 A A P P A A A
7120 P P
§
§
§

ZONING MAP

map is a copy of public record and is provided solely for informational purposes. WFG National Title assumes no liability for variations, if any, in dimensions, area or location of the premises or the location of improvements.
This

The MAPS and DATA are provided without warranty of any kind, expressed or implied.

Date Created: 10/10/2023

PropertyInformation

Parcel: 17625401014

OwnerName(s): ADAMSBRIANM

SiteAddress: 0

Jurisdiction: ClarkCounty-null

ZoningClassification: RuralEstatesResidential[2UnitsperAcre](R-E)

PlannedLanduse: NeighborhoodCommercial(NC)

MiscInformation

SubdivisionName: null

LotBlock: Lot:Block:

SaleDate: NotAvailable

SalePrice: NotAvailable

RecordedDocNumber: 2012110900001415

FlightDate: 2023-06-03

ElectedOfficials

Commission: F-JustinJones(D)

USSenate: JackyRosen,CatherineCortez-Masto

StateSenate: 11-DallasHarris(D)

SchoolDistrict: IreneBustamanteAdams

BoardofEducation: 3-FeliciaOrtiz

ConstructionYear:

T-R-S: 22-60-25

Censustract: 5865

EstimatedLotSize: 2.12

CityWard:

USCongress: 3-SusieLee(D)

StateAssembly: 8-DuyNguyen(D)

UniversityRegent: 6-HeatherBrown

MinorCivilDivision: LasVegas

CUSTOM

Topography

 Water Features

 Aerial

 Aerial Environmental

 Community

 Transit

 Vacant Land

The information contained is provided by WFG’s Customer Service Department to our customers, and while deemed reliable, is not guaranteed.

MAPS
map is a copy of public record and is provided solely for informational purposes. WFG National Title assumes no liability for variations, if any, in dimensions, area or location of the premises or the location of improvements.
TOPOGRAPHY MAP This
is a copy of public record and is provided solely for informational purposes. WFG National Title assumes no liability for variations, if any, in dimensions, area or location of the premises or the location of improvements.
WATER FEATURE MAP This map

AERIAL MAP

This map is a copy of public record and is provided solely for informational purposes. WFG National Title assumes no liability for variations, if any, in dimensions, area or location of the premises or the location of improvements.

AERIAL ENVIRONMENTAL MAP

of public
is provided
for informational purposes. WFG National Title assumes no liability for variations, if any, in dimensions, area or location of the premises or the location of
This map is a copy
record and
solely
improvements.
This map is a copy of public record and is provided solely for informational purposes. WFG National Title assumes no liability for variations, if any, in dimensions, area or location of the premises or the location of improvements.
COMMUNITY MAP

TRANSPORTATION MAP

This map is a copy of public record and is provided solely for informational purposes. WFG National Title assumes no liability for variations, if any, in dimensions, area or location of the premises or the location of improvements.

VACANT PARCEL MAP

This map is a copy of public record and is provided solely for informational purposes. WFG National Title assumes no liability for variations, if any, in dimensions, area or location of the premises or the location of improvements.

COMMUNITY

INFORMATION

Demographics

 Traffic Counts

The information contained is provided by WFG’s Customer Service Department to our customers, and while deemed reliable, is not guaranteed.

Parcel 176-25-401-014, Las Vegas, NV 89141

176-25-401-014,
Sitewise Online Pop-Facts: Population Quick Facts Pop-Facts: Population Quick Facts Parcel 176-25-401-014, Las Vegas, NV 89141 0 - 1 mi Population 2027 Projection 15,284 2022 Estimate 14,254 2010 Census 9,730 2000 Census 21 Growth 2022-2027 7.22% Growth 2010-2022 46.49% Growth 2000-2010 45189.68% 2022 Est. Population by Age 14,254 Age 0 to 4 873 6.12% Age 5 to 9 1,003 7.04% Age 10 to 14 1,068 7.49% Age 15 to 17 626 4.39% Age 18 to 20 546 3.83% Age 21 to 24 686 4.82% Age 25 to 34 2,003 14.05% Age 35 to 44 2,399 16.83% Age 45 to 54 2,143 15.04% Age 55 to 64 1,442 10.12% Age 65 to 74 953 6.68% Age 75 to 84 426 2.99% Age 85 and over 85 0.60% Age 16 and over 11,105 77.91% Age 18 and over 10,684 74.96% Age 21 and over 10,138 71.13% Age 65 and over 1,464 10.27% 2022 Est. Median Age 36.34 2022 Est. Average Age 36.29
Parcel
Las Vegas, NV 89141
2022 Est. Population by Single-Classification Race 14,254 White Alone 6,717 47.12% Black or African American Alone 1,685 11.82% American Indian and Alaska Native Alone 64 0.45% Asian Alone 3,346 23.48% Native Hawaiian and Other Pacific Islander Alone 151 1.06% Some Other Race Alone 944 6.62% Two or More Races 1,346 9.45% 2022 Est. Population by Ethnicity (Hispanic or Latino) 14,254 Hispanic or Latino 2,968 20.82% Not Hispanic or Latino 11,286 79.18% 2022 Est. Population by Sex 14,254 Male 7,036 49.36% Female 7,218 50.64%
Parcel 176-25-401-014, Las Vegas, NV 89141 Sitewise Online Pop-Facts: Population Quick Facts Pop-Facts: Population Quick Facts Parcel 176-25-401-014, Las Vegas, NV 89141 0 - 1 mi
Copyright © Claritas, LLC 2022. All rights reserved.
Parcel 176-25-401-014, Las Vegas, NV 89141 Sitewise Online Pop-Facts: Household Quick Facts Pop-Facts: Household Quick Facts Parcel 176-25-401-014, Las Vegas, NV 89141 0 - 1 mi Households 2027 Projection 5,001 2022 Estimate 4,699 2010 Census 3,314 2000 Census 9 Growth 2022-2027 6.43% Growth 2010-2022 41.78% Growth 2000-2010 36291.50% 2022 Est. Households by Household Income 4,699 Income Less than $15,000 191 4.07% Income $15,000 to $24,999 92 1.96% Income $25,000 to $34,999 78 1.66% Income $35,000 to $49,999 344 7.32% Income $50,000 to $74,999 650 13.84% Income $75,000 to $99,999 773 16.45% Income $100,000 to $124,999 716 15.23% Income $125,000 to $149,999 453 9.64% Income $150,000 to $199,999 598 12.73% Income $200,000 to $249,999 371 7.89% Income $250,000 to $499,999 315 6.70% Income $500,000 or more 118 2.50% 2022 Est. Average Household Income $ 134,844 2022 Est. Median Household Income $ 107,708 2022 Median HH Inc. by Single-Classification Race White Alone $ 114,429 Black or African American Alone $ 79,990 American Indian and Alaska Native Alone $ 47,155 Asian Alone $ 101,954 Native Hawaiian and Other Pacific Islander Alone $ 60,839 Some Other Race Alone $ 157,686 Two or More Races $ 104,379 Hispanic or Latino $ 103,844 Not Hispanic or Latino $ 108,605 2022 Est. Households by Household Type 4,699 Family Households 3,413 72.62% Nonfamily Households 1,286 27.38% 2022 Est. Group Quarters Population 0
2022 Est. Households by Household Size 4,699 1-person 702 14.93% 2-person 1,426 30.34% 3-person 962 20.47% 4-person 791 16.83% 5-person 493 10.50% 6-person 199 4.24% 7-or-more-person 126 2.69% 2022 Est. Average Household Size 3.03 Parcel 176-25-401-014, Las Vegas, NV 89141 Sitewise Online Pop-Facts: Household Quick Facts Pop-Facts: Household Quick Facts Parcel 176-25-401-014, Las Vegas, NV 89141 0 - 1 mi
2022 Est. HHs by Type by Presence of Own Children 3,413 Married-Couple Family, own children 1,379 40.40% Married-Couple Family, no own children 1,183 34.68% Male Householder, own children 184 5.38% Male Householder, no own children 138 4.03% Female Householder, own children 317 9.29% Female Householder, no own children 212 6.22% Copyright © Claritas, LLC 2022. All rights reserved. Parcel 176-25-401-014, Las Vegas, NV 89141 Sitewise Online Pop-Facts: Household Quick Facts Pop-Facts: Household Quick Facts Parcel 176-25-401-014, Las Vegas, NV 89141 0 - 1 mi

Parcel 176-25-401-014, Las Vegas, NV 89141 Sitewise Online

Pop-Facts: Demographic Snapshot (Part 1)

Pop-Facts: Demographic Snapshot (Part 1) Parcel 176-25-401014, Las Vegas, NV 89141 0 - 1 mi Population 2027 Projection 15,284 2022 Estimate 14,254 2010 Census 9,730 2000 Census 21 Growth 2022-2027 7.22% Growth 2010-2022 46.49% Growth 2000-2010 45189.68% 2022 Est. Population by Single-Classification Race 14,254 White Alone 6,717 47.12% Black or African American Alone 1,685 11.82% American Indian and Alaska Native Alone 64 0.45% Asian Alone 3,346 23.48% Native Hawaiian and Other Pacific Islander Alone 151 1.06% Some Other Race Alone 944 6.62% Two or More Races 1,346 9.45% 2022 Est. Population Hispanic or Latino by Origin 14,254 Not Hispanic or Latino 11,286 79.18% Hispanic or Latino 2,968 20.82% Hispanic or Latino by Origin 2,968 Mexican 1,868 62.94% Puerto Rican 239 8.06% Cuban 143 4.82% All Other Hispanic or Latino 718 24.18% 2022 Est. Hisp. or Latino Pop by Single-Classification Race 2,968 White Alone 1,512 50.93% Black or African American Alone 69 2.34% American Indian and Alaska Native Alone 26 0.88% Asian Alone 46 1.54% Native Hawaiian and Other Pacific Islander Alone 3 0.10% Some Other Race Alone 922 31.07% Two or More Races 390 13.13%

Parcel 176-25-401-014, Las Vegas, NV 89141

(Part 1)

2022 Est. Pop by Race, Asian Alone, by Category 3,346 Chinese, except Taiwanese 126 3.76% Filipino 1,987 59.39% Japanese 92 2.75% Asian Indian 403 12.04% Korean 51 1.53% Vietnamese 136 4.07% Cambodian 1 0.03% Hmong 0 0.00% Laotian 0 0.00% Thai 21 0.62% All other Asian Races, including 2 or more 529 15.81% 2022 Est. Population by Ancestry 14,254 Arab 5 0.04% Czech 7 0.05% Danish 59 0.42% Dutch 45 0.31% English 641 4.49% French (except Basque) 277 1.94% French Canadian 44 0.31% German 1,126 7.90% Greek 56 0.39% Hungarian 64 0.45% Irish 864 6.06% Italian 816 5.73% Lithuanian 16 0.11% Norwegian 73 0.51% Polish 226 1.58% Portuguese 41 0.29% Russian 184 1.29% Scottish 287 2.01% Scotch-Irish 24 0.17% Slovak 19 0.14% Subsaharan African 203 1.42% Swedish 205 1.44% Swiss 7 0.05% Ukrainian 47 0.33% United States or American 509 3.57% Welsh 57 0.40% West Indian (except Hisp. groups) 131 0.92% Other Ancestries 6,343 44.50% Ancestry Unclassified 1,879 13.18% 2022 Est. Pop Age 5+ by Language Spoken At Home 13,381
Pop-Facts: Demographic Snapshot (Part 1) Parcel 176-25-401014, Las Vegas, NV 89141 0 - 1 mi
Sitewise Online Pop-Facts: Demographic Snapshot
Speak only English 9,245 69.09% Speak Asian or Pacific Island Language 1,738 12.99% Speak IndoEuropean Language 964 7.20% Speak Spanish 1,294 9.67% Speak Other Language 141 1.05% Parcel 176-25-401-014, Las Vegas, NV 89141 Sitewise Online Pop-Facts: Demographic Snapshot (Part 1) Pop-Facts: Demographic Snapshot (Part 1) Parcel 176-25-401014, Las Vegas, NV 89141 0 - 1 mi

Parcel 176-25-401-014, Las Vegas, NV 89141

Sitewise Online

Pop-Facts: Demographic Snapshot (Part 1)

2022 Est. Population by Sex 14,254 Male 7,036 49.36% Female 7,218 50.64% 2022 Est. Population by Age 14,254 Age 0 to 4 873 6.12% Age 5 to 9 1,003 7.04% Age 10 to 14 1,068 7.49% Age 15 to 17 626 4.39% Age 18 to 20 546 3.83% Age 21 to 24 686 4.82% Age 25 to 34 2,003 14.05% Age 35 to 44 2,399 16.83% Age 45 to 54 2,143 15.04% Age 55 to 64 1,442 10.12% Age 65 to 74 953 6.68% Age 75 to 84 426 2.99% Age 85 and over 85 0.60% Age 16 and over 11,105 77.91% Age 18 and over 10,684 74.96% Age 21 and over 10,138 71.13% Age 65 and over 1,464 10.27% 2022 Est. Median Age 36.34 2022 Est. Average Age 36.29
Pop-Facts: Demographic Snapshot (Part 1) Parcel 176-25-401014, Las Vegas, NV 89141 0 - 1 mi

Parcel 176-25-401-014, Las Vegas, NV 89141 Sitewise Online

Pop-Facts: Demographic Snapshot (Part 1)

2022 Est. Male Population by Age 7,036 Age 0 to 4 448 6.36% Age 5 to 9 512 7.28% Age 10 to 14 543 7.71% Age 15 to 17 314 4.46% Age 18 to 20 281 3.99% Age 21 to 24 355 5.04% Age 25 to 34 953 13.54% Age 35 to 44 1,203 17.10% Age 45 to 54 1,056 15.01% Age 55 to 64 713 10.13% Age 65 to 74 429 6.10% Age 75 to 84 191 2.72% Age 85 and over 39 0.55% 2022 Est. Median Age, Male 35.94 2022 Est. Average Age, Male 35.70 2022 Est. Female Population by Age 7,218 Age 0 to 4 425 5.89% Age 5 to 9 491 6.80% Age 10 to 14 525 7.28% Age 15 to 17 312 4.32% Age 18 to 20 266 3.68% Age 21 to 24 332 4.59% Age 25 to 34 1,050 14.55% Age 35 to 44 1,196 16.57% Age 45 to 54 1,087 15.06% Age 55 to 64 730 10.11% Age 65 to 74 524 7.26% Age 75 to 84 235 3.26% Age 85 and over 46 0.64% 2022 Est. Median Age, Female 36.74 2022 Est. Average Age, Female 36.83
Pop-Facts: Demographic Snapshot (Part 1) Parcel 176-25-401014, Las Vegas, NV 89141 0 - 1 mi
2022 Est. Pop Age 15+ by Marital Status 11,310 Total, Never Married 3,510 31.03% Males, Never Married 1,820 16.09% Females, Never Married 1,689 14.94% Married, Spouse present 5,483 48.48% Married, Spouse absent 517 4.57% Widowed 467 4.13% Males, Widowed 76 0.67% Females, Widowed 392 3.46% Divorced 1,333 11.79% Males, Divorced 586 5.18% Females, Divorced 747 6.60% 2022 Est. Pop Age 25+ by Edu. Attainment 9,452 Less than 9th grade 131 1.38% Some High School, no diploma 391 4.14% High School Graduate (or GED) 2,212 23.41% Some College, no degree 2,600 27.51% Associate Degree 1,035 10.95% Bachelor's Degree 2,101 22.23% Master's Degree 704 7.45% Professional School Degree 155 1.64% Doctorate Degree 122 1.29% 2022 Est. Pop. Age 25+ by Edu. Attain., Hisp./Lat. 1,668 No High School Diploma 282 16.93% High School Graduate 508 30.46% Some College or Associate's Degree 586 35.15% Bachelor's Degree or Higher 291 17.46% Copyright © Claritas, LLC 2022. All rights reserved. Parcel 176-25-401-014, Las Vegas, NV 89141 Sitewise Online Pop-Facts: Demographic Snapshot (Part 1) Pop-Facts: Demographic Snapshot (Part 1) Parcel 176-25-401014, Las Vegas, NV 89141 0 - 1 mi
Parcel 176-25-401-014, Las Vegas, NV 89141 Sitewise Online Pop-Facts: Demographic Snapshot (Part 2) Pop-Facts: Demographic Snapshot (Part 2) Parcel 176-25-401-014, Las Vegas, NV 89141 0 - 1 mi Households 2027 Projection 5,001 2022 Estimate 4,699 2010 Census 3,314 2000 Census 9 Growth 2022-2027 6.43% Growth 2010-2022 41.78% Growth 2000-2010 36291.50% 2022 Est. Households by Household Type 4,699 Family Households 3,413 72.62% Nonfamily Households 1,286 27.38% 2022 Est. Group Quarters Population 0 2022 HHs by Ethnicity: Hispanic/Latino 786 16.72% 2022 Est. Households by HH Income 4,699 Income < $15,000 191 4.07% Income $15,000 to $24,999 92 1.96% Income $25,000 to $34,999 78 1.66% Income $35,000 to $49,999 344 7.32% Income $50,000 to $74,999 650 13.84% Income $75,000 to $99,999 773 16.45% Income $100,000 to $124,999 716 15.23% Income $125,000 to $149,999 453 9.64% Income $150,000 to $199,999 598 12.73% Income $200,000 to $249,999 371 7.89% Income $250,000 to $499,999 315 6.70% Income $500,000+ 118 2.50% 2022 Est. Average Household Income $ 134,844 2022 Est. Median Household Income $ 107,708 2022 Median HH Income by Single-Class. Race or Ethn. White Alone $ 114,429 Black or African American Alone $ 79,990 American Indian and Alaska Native Alone $ 47,155 Asian Alone $ 101,954 Native Hawaiian and Other Pacific Islander Alone $ 60,839 Some Other Race Alone $ 157,686 Two or More Races $ 104,379 Hispanic or Latino $ 103,844

Parcel 176-25-401-014, Las Vegas, NV 89141 Sitewise Online

Pop-Facts: Demographic Snapshot (Part 2)

Not Hispanic or Latino $ 108,605
Pop-Facts: Demographic Snapshot (Part 2) Parcel 176-25-401-014, Las Vegas, NV 89141 0 - 1 mi
2022 Est. Family HH Type by Presence of Own Children 3,413 Married-Couple Family, own children 1,379 40.40% Married-Couple Family, no own children 1,183 34.68% Male Householder, own children 184 5.38% Male Householder, no own children 138 4.03% Female Householder, own children 317 9.29% Female Householder, no own children 212 6.22% 2022 Est. Households by Household Size 4,699 1-person 702 14.93% 2-person 1,426 30.34% 3-person 962 20.47% 4-person 791 16.83% 5-person 493 10.50% 6-person 199 4.24% 7-or-more-person 126 2.69% 2022 Est. Average Household Size 3.03 2022 Est. Households by Presence of People Under 18 4,699 Households with 1 or more People under Age 18 2,065 43.94% Households with No People under Age 18 2,634 56.06% Households with 1 or more People under Age 18 2,065 Married-Couple Family 1,445 69.98% Other Family, Male Householder 206 9.95% Other Family, Female Householder 383 18.56% Nonfamily, Male Householder 23 1.11% Nonfamily, Female Householder 8 0.41% Households with No People under Age 18 2,634 Married-Couple Family 1,117 42.40% Other Family, Male Householder 117 4.42% Other Family, Female Householder 145 5.50% Nonfamily, Male Householder 715 27.13% Nonfamily, Female Householder 542 20.56% Parcel 176-25-401-014, Las Vegas, NV 89141 Sitewise Online Pop-Facts: Demographic Snapshot (Part 2) Pop-Facts: Demographic Snapshot (Part 2) Parcel 176-25-401-014, Las Vegas, NV 89141 0 - 1 mi

176-25-401-014, Las Vegas, NV 89141 Sitewise Online

2022 Est. Households by Number of Vehicles 4,699 No Vehicles 80 1.69% 1 Vehicle 1,128 24.00% 2 Vehicles 2,156 45.87% 3 Vehicles 927 19.73% 4 Vehicles 336 7.16% 5 or more Vehicles 72 1.54% 2022 Est. Average Number of Vehicles 2.11 Family Households 2027 Projection 3,630 2022 Estimate 3,413 2010 Census 2,416 2000 Census 4 Growth 2022-2027 6.38% Growth 2010-2022 41.22% Growth 2000-2010 55903.48% 2022 Est. Families by Poverty Status 3,413 2022 Families at or Above Poverty 3,266 95.70% 2022 Families at or Above Poverty with Children 1,845 54.06% 2022 Families Below Poverty 147 4.30% 2022 Families Below Poverty with Children 99 2.90% 2022 Est. Pop Age 16+ by Employment Status 11,105 In Armed Forces 26 0.23% Civilian - Employed 7,641 68.80% Civilian - Unemployed 299 2.69% Not in Labor Force 3,140 28.28% 2022 Est. Civ. Employed Pop 16+ by Class of Worker 7,566 For-Profit Private Workers 5,933 78.42% Non-Profit Private Workers 260 3.44% Local Government Workers 409 5.40% State Government Workers 184 2.43% Federal Government Workers 83 1.10% Self-Employed Workers 677 8.95% Unpaid Family Workers 20 0.26%
Pop-Facts: Demographic
2) Pop-Facts: Demographic Snapshot (Part 2) Parcel 176-25-401-014, Las Vegas, NV 89141 0 - 1 mi
Parcel
Snapshot (Part

Parcel 176-25-401-014, Las Vegas, NV 89141 Sitewise

Pop-Facts: Demographic Snapshot (Part 2)

2022 Est. Civ. Employed Pop 16+ by Occupation 7,566 Architect/Engineer 65 0.86% Arts/Entertainment/Sports 99 1.31% Building Grounds Maintenance 332 4.39% Business/Financial Operations 392 5.18% Community/Social Services 61 0.81% Computer/Mathematical 231 3.06% Construction/Extraction 129 1.70% Education/Training/Library 249 3.30% Farming/Fishing/Forestry 0 0.00% Food Prep/Serving 707 9.35% Healthcare Practitioner/Technician 503 6.65% Healthcare Support 190 2.51% Maintenance Repair 205 2.71% Legal 68 0.90% Life/Physical/Social Science 35 0.46% Management 941 12.44% Office/Admin. Support 686 9.07% Production 194 2.56% Protective Service 256 3.38% Sales/Related 1,097 14.50% Personal Care/Service 511 6.75% Transportation/Moving 614 8.12% 2022 Est. Pop 16+ by Occupation Classification 7,566 Blue Collar 1,142 15.09% White Collar 4,428 58.53% Service & Farm 1,996 26.38% 2022 Est. Workers Age 16+ by Transp. To Work 7,491 Drove Alone 6,223 83.07% Car Pooled 688 9.18% Public Transportation 13 0.18% Walked 25 0.34% Bicycle 2 0.02% Other Means 96 1.28% Worked at Home 445 5.94% 2022 Est. Workers Age 16+ by Travel Time to Work* Less than 15 minutes 1,054 15 to 29 Minutes 3,815 30 to 44 Minutes 1,845 45 to 59 Minutes 124 60 or more Minutes 216
Pop-Facts: Demographic Snapshot (Part 2) Parcel 176-25-401-014, Las Vegas, NV 89141 0 - 1 mi
Online
2022 Est. Avg. Travel Time to Work in Minutes* 25.61 2022 Est. Occupied Housing Units by Tenure 4,699 Owner-Occupied 3,426 72.90% Renter-Occupied 1,273 27.10% 2022 Occupied Housing Units: Avg. Length of Residence Owner-Occupied 10 Renter-Occupied 6 Parcel 176-25-401-014, Las Vegas, NV 89141 Sitewise Online Pop-Facts: Demographic Snapshot (Part 2) Pop-Facts: Demographic Snapshot (Part 2) Parcel 176-25-401-014, Las Vegas, NV 89141 0 - 1 mi
2022 Est. Owner Occupied Housing Units by Value 3,426 Value Less than $20,000 1 0.03% Value $20,000 to $39,999 9 0.28% Value $40,000 to $59,999 1 0.02% Value $60,000 to $79,999 0 0.00% Value $80,000 to $99,999 1 0.03% Value $100,000 to $149,999 5 0.14% Value $150,000 to $199,999 20 0.58% Value $200,000 to $299,999 360 10.50% Value $300,000 to $399,999 827 24.13% Value $400,000 to $499,999 939 27.40% Value $500,000 to $749,999 930 27.14% Value $750,000 to $999,999 267 7.80% Value $1,000,000 to $1,499,999 21 0.62% Value $1,500,000 to $1,999,999 5 0.14% Value $2,000,000 or more 41 1.20% 2022 Est. Median All Owner-Occupied Housing Unit Value $ 452,159 2022 Est. Housing Units by Units in Structure 5,178 1 Unit Attached 261 5.04% 1 Unit Detached 4,682 90.43% 2 Units 3 0.05% 3 or 4 Units 25 0.47% 5 to 19 Units 118 2.28% 20 to 49 Units 15 0.29% 50 or More Units 29 0.56% Mobile Home or Trailer 45 0.87% Boat, RV, Van, etc. 0 0.00% Dominant structure type 1 Unit Detached 2022 Est. Housing Units by Year Structure Built 5,178 Housing Units Built 2014 or Later 992 19.16% Housing Units Built 2010 to 2013 576 11.13% Housing Units Built 2000 to 2009 3,157 60.97% Housing Units Built 1990 to 1999 351 6.79% Housing Units Built 1980 to 1989 65 1.26% Housing Units Built 1970 to 1979 21 0.40% Housing Units Built 1960 to 1969 12 0.23% Housing Units Built 1950 to 1959 3 0.06% Housing Units Built 1940 to 1949 0 0.00% Housing Units Built 1939 or Earlier 0 0.00% 2022 Est. Median Year Structure Built** 2007 Dominant Year Structure Built 2000 to 2009 Parcel 176-25-401-014, Las Vegas, NV 89141 Sitewise Online Pop-Facts: Demographic Snapshot (Part 2) Pop-Facts: Demographic Snapshot (Part 2) Parcel 176-25-401-014, Las Vegas, NV 89141 0 - 1 mi

Parcel 176-25-401-014, Las Vegas, NV 89141 Sitewise Online

Pop-Facts: Demographic Snapshot (Part 2)

Pop-Facts: Demographic Snapshot (Part 2)

Copyright © Claritas, LLC 2022. All rights reserved.

* This row intentionally left blank. No Total Category.

**1939 will appear when at least half of the Housing Units in this reports area were built in 1939 or earlier.

Parcel 176-25-401-014, Las Vegas, NV 89141 0 - 1 mi

Parcel 176-25-401-014, Las Vegas, NV 89141 Sitewise Online Pop-Facts: Census Demographic Overview (Part 1) Pop-Facts: Census Demographic Overview (Part 1) Parcel 176-25-401-014, Las Vegas, NV 89141 0 - 1 mi Population 2027 Projection 15,284 2022 Estimate 14,254 2010 Census 9,730 2000 Census 21 Growth 2022-2027 7.22% Growth 2010-2022 46.49% Growth 2000-2010 45189.68% 2010 Population by Single-Classification Race 9,730 White Alone 6,134 63.04% Black or African American Alone 712 7.32% American Indian and Alaska Native Alone 45 0.46% Asian Alone 1,606 16.50% Native Hawaiian and Other Pacific Islander Alone 85 0.87% Some Other Race Alone 530 5.44% Two or More Races 619 6.36% 2010 Population By Ethnicity 9,730 Not Hispanic or Latino 8,071 82.95% Hispanic or Latino 1,659 17.05% 2010 Hispanic or Latino by Single-Classification Race 1,659 White Alone 845 50.93% Black or African American Alone 43 2.57% American Indian and Alaska Native Alone 18 1.06% Asian Alone 30 1.83% Native Hawaiian and Other Pacific Islander Alone 2 0.09% Some Other Race Alone 512 30.85% Two or More Races 210 12.68% 2010 Population by Sex 9,730 Male 4,846 49.81% Female 4,884 50.19% Male/Female Ratio 0.99

Parcel 176-25-401-014, Las Vegas, NV 89141 Sitewise Online

Pop-Facts: Census Demographic Overview (Part 1)

2010 Population by Age 9,730 Age 0 to 4 804 8.26% Age 5 to 9 783 8.05% Age 10 to 14 704 7.23% Age 15 to 17 396 4.07% Age 18 to 20 285 2.92% Age 21 to 24 425 4.36% Age 25 to 34 1,911 19.64% Age 35 to 44 1,858 19.09% Age 45 to 54 1,156 11.88% Age 55 to 64 829 8.52% Age 65 to 74 413 4.25% Age 75 to 84 131 1.35% Age 85 and over 37 0.38% Age 16 and over 7,286 74.88% Age 18 and over 7,044 72.39% Age 21 and over 6,759 69.47% Age 65 and over 581 5.97% 2010 Median Age 32.69
Census Demographic Overview (Part 1) Parcel 176-25-401-014, Las Vegas, NV 89141 0 - 1 mi
Pop-Facts:

Copyright © Claritas, LLC 2022. All rights reserved.

2010 Male Population by Age 4,846 Age 0 to 4 411 8.49% Age 5 to 9 395 8.15% Age 10 to 14 372 7.67% Age 15 to 17 190 3.92% Age 18 to 20 153 3.15% Age 21 to 24 187 3.86% Age 25 to 34 930 19.19% Age 35 to 44 964 19.89% Age 45 to 54 580 11.96% Age 55 to 64 386 7.96% Age 65 to 74 205 4.23% Age 75 to 84 59 1.21% Age 85 and over 16 0.33% 2010 Median Age, Male 32.69 2010 Female Population by Age 4,884 Age 0 to 4 392 8.04% Age 5 to 9 388 7.95% Age 10 to 14 332 6.79% Age 15 to 17 206 4.22% Age 18 to 20 132 2.70% Age 21 to 24 237 4.86% Age 25 to 34 981 20.09% Age 35 to 44 894 18.30% Age 45 to 54 577 11.81% Age 55 to 64 443 9.07% Age 65 to 74 208 4.26% Age 75 to 84 72 1.48% Age 85 and over 21 0.43% 2010 Median Age, Female 32.69
176-25-401-014,
Sitewise Online Pop-Facts: Census Demographic Overview (Part 1) Pop-Facts: Census Demographic Overview (Part 1) Parcel 176-25-401-014, Las Vegas, NV 89141 0 - 1 mi
Parcel
Las Vegas, NV 89141
Parcel 176-25-401-014, Las Vegas, NV 89141 Sitewise Online Pop-Facts: Census Demographic Overview (Part 2) Pop-Facts: Census Demographic Overview (Part 2) Parcel 176-25-401-014, Las Vegas, NV 89141 0 - 1 mi Households 2027 Projection 5,001 2022 Estimate 4,699 2010 Census 3,314 2000 Census 9 Growth 2022-2027 6.43% Growth 2010-2022 41.78% Growth 2000-2010 36291.50% 2010 Households by Household Type 3,314 Family Households 2,416 72.91% Non-family Households 898 27.09% 2010 Group Quarters Population 0 2010 Hispanic or Latino Households 431 13.00% 2010 Households by Household Size 3,314 1-person 510 15.40% 2-person 1,055 31.85% 3-person 673 20.30% 4-person 575 17.36% 5-person 316 9.54% 6-person 117 3.54% 7-or-more-person 67 2.03%
2010 Households by Type and Presence of Children 3,314 Married-Couple Family, own children 980 29.58% Male Householder, own children 129 3.89% Female Householder, own children 223 6.73% Married-Couple Family, no own children 845 25.49% Male Householder, no own children 97 2.92% Female Householder, no own children 143 4.30% Non-family Households 898 27.09% 2010 Households by Presence of People Under Age 18 3,314 HH with 1 or More People Under Age 18: 1,459 44.04% Households with No People Under Age 18: 1,855 55.96% HH with 1 or More People Under Age 18: 1,459 Married-Couple Family 1,027 70.39% Other Family, Male Householder 144 9.87% Other Family, Female Householder 267 18.29% Nonfamily, Male Householder 16 1.08% Nonfamily, Female Householder 5 0.37% Households with No People Under Age 18: 1,855 Married-Couple Family 798 43.01% Other Family, Male Householder 82 4.40% Other Family, Female Householder 99 5.33% Nonfamily, Male Householder 495 26.70% Nonfamily, Female Householder 381 20.56% 2010 Occupied Housing Units by Tenure 3,314 Owner-Occupied 2,395 72.26% Renter-Occupied 919 27.74% Copyright © Claritas, LLC 2022. All rights reserved. Parcel 176-25-401-014, Las Vegas, NV 89141 Sitewise Online Pop-Facts: Census Demographic Overview (Part 2) Pop-Facts: Census Demographic Overview (Part 2) Parcel 176-25-401-014, Las Vegas, NV 89141 0 - 1 mi

Parcel 176-25-401-014, Las Vegas, NV 89141 Sitewise Online

Market Power Opportunity Gap
By Retail Store Types Retail Market Power Opportunity Gap Report By Retail Store Types Parcel 176-25-401-014, Las Vegas, NV 89141 0 - 1 mi 2022 Demand 2022 Supply Opportunity Gap/Surplus Total retail trade including food and drink (NAICS 44, 45 and 722) $ 313,874,847 $ 45,988,106 $ 267,886,742 Total retail trade (NAICS 44 and 45) $ 277,847,674 $ 43,793,230 $ 234,054,444 Motor vehicle and parts dealers (NAICS 441) $ 63,925,967 $ 4,110,530 $ 59,815,436 Automobile dealers (NAICS 4411) $ 53,942,503 $ 1,857,914 $ 52,084,588 New car dealers (NAICS 44111) $ 47,922,703 $ 1,857,914 $ 46,064,789 Used car dealers (NAICS 44112) $ 6,019,800 $ 0 $ 6,019,800 Other motor vehicle dealers (NAICS 4412) $ 5,802,875 $ 2,252,616 $ 3,550,259 Recreational vehicle dealers (NAICS 44121) $ 2,279,561 $ 1,934,374 $ 345,186 Motorcycle, boat, and other motor vehicle dealers (NAICS 44122) $ 3,523,314 $ 318,242 $ 3,205,073 Boat dealers (NAICS 441222) $ 1,361,160 $ 264,956 $ 1,096,203 Motorcycle, ATV, and all other motor vehicle dealers (NAICS 441228) $ 2,162,155 $ 53,286 $ 2,108,869 Automotive parts, accessories, and tire stores (NAICS 4413) $ 4,180,588 $ 0 $ 4,180,588 Automotive parts and accessories stores (NAICS 44131) $ 2,643,746 $ 0 $ 2,643,746 Tire dealers (NAICS 44132) $ 1,536,842 $ 0 $ 1,536,842 Furniture and home furnishings stores (NAICS 442) $ 6,083,625 $ 0 $ 6,083,625 Furniture stores (NAICS 4421) $ 3,321,170 $ 0 $ 3,321,170 Home furnishings stores (NAICS 4422) $ 2,762,455 $ 0 $ 2,762,455 Floor covering stores (NAICS 44221) $ 1,347,438 $ 0 $ 1,347,438 Other home furnishings stores (NAICS 44229) $ 1,415,017 $ 0 $ 1,415,017 Window treatment stores (NAICS 442291) $ 68,960 $ 0 $ 68,960 All other home furnishings stores (NAICS 442299) $ 1,346,057 $ 0 $ 1,346,057 Electronics and appliance stores (NAICS 443) $ 3,687,182 $ 816,873 $ 2,870,309 Household appliance stores (NAICS 443141) $ 873,120 $ 0 $ 873,120 Electronics stores (NAICS 443142) $ 2,814,062 $ 816,873 $ 1,997,189 Building material and garden equipment and supplies dealers (NAICS 444) $ 19,957,815 $ 2,829,441 $ 17,128,373 Building material and supplies dealers (NAICS 4441) $ 17,152,442 $ 2,829,441 $ 14,323,000 Home centers (NAICS 44411) $ 9,547,001 $ 2,718,642 $ 6,828,360 Paint and wallpaper stores (NAICS 44412) $ 585,345 $ 0 $ 585,345 Hardware stores (NAICS 44413) $ 1,540,250 $ 95,268 $ 1,444,983 Other building material dealers (NAICS 44419) $ 5,479,845 $ 15,532 $ 5,464,313 Lawn and garden equipment and supplies stores (NAICS 4442) $ 2,805,373 $ 0 $ 2,805,373 Outdoor power equipment stores (NAICS 44421) $ 572,135 $ 0 $ 572,135 Nursery, garden center, and farm supply stores (NAICS 44422) $ 2,233,239 $ 0 $ 2,233,239 Food and beverage stores (NAICS 445) $ 40,958,927 $ 1,085,462 $ 39,873,466 Grocery stores (NAICS 4451) $ 36,300,942 $ 1,085,462 $ 35,215,480 Supermarkets and other grocery (except convenience) stores (NAICS 44511) $ 34,835,116 $ 1,085,462 $ 33,749,655 Convenience stores (NAICS 44512) $ 1,465,825 $ 0 $ 1,465,825 Specialty food stores (NAICS 4452) $ 1,060,850 $ 0 $ 1,060,850
Retail
Report
Meat markets (NAICS 44521) $ 320,627 $ 0 $ 320,627 Fish and seafood markets (NAICS 44522) $ 126,288 $ 0 $ 126,288 Fruit and vegetable markets (NAICS 44523) $ 219,830 $ 0 $ 219,830 Other specialty food stores (NAICS 44529) $ 394,105 $ 0 $ 394,105 Baked goods and confectionery and nut stores (NAICS 445291 + 445292) $ 209,048 $ 0 $ 209,048 All other specialty food stores (NAICS 445299) $ 185,057 $ 0 $ 185,057 Beer, wine, and liquor stores (NAICS 4453) $ 3,597,136 $ 0 $ 3,597,136 Health and personal care stores (NAICS 446) $ 15,397,243 $ 285,344 $ 15,111,899 Pharmacies and drug stores (NAICS 44611) $ 13,377,426 $ 285,344 $ 13,092,082 Cosmetics, beauty supplies, and perfume stores (NAICS 44612) $ 893,129 $ 0 $ 893,129 Optical goods stores (NAICS 44613) $ 413,706 $ 0 $ 413,706 Other health and personal care stores (NAICS 44619) $ 712,981 $ 0 $ 712,981 Food (health) supplement stores (NAICS 446191) $ 254,687 $ 0 $ 254,687 All other health and personal care stores (NAICS 446199) $ 458,295 $ 0 $ 458,295 Gasoline stations (NAICS 447) $ 21,630,254 $ 589,629 $ 21,040,626 Clothing and clothing accessories stores (NAICS 448) $ 11,500,767 $ 4,487,794 $ 7,012,973 Clothing stores (NAICS 4481) $ 7,533,954 $ 4,206,756 $ 3,327,198 Men's clothing stores (NAICS 44811) $ 349,071 $ 127,830 $ 221,241 Women's clothing stores (NAICS 44812) $ 1,312,523 $ 1,037,247 $ 275,277 Children's and infants' clothing stores (NAICS 44813) $ 279,021 $ 73,449 $ 205,572 Family clothing stores (NAICS 44814) $ 4,536,192 $ 2,030,936 $ 2,505,256 Clothing accessories stores (NAICS 44815) $ 369,598 $ 253,239 $ 116,359 Other clothing stores (NAICS 44819) $ 687,548 $ 684,055 $ 3,493 Shoe stores (NAICS 4482) $ 1,643,913 $ 0 $ 1,643,913 Jewelry, luggage, and leather goods stores (NAICS 4483) $ 2,322,901 $ 281,038 $ 2,041,863 Jewelry stores (NAICS 44831) $ 1,501,659 $ 0 $ 1,501,659 Luggage and leather goods stores (NAICS 44832) $ 821,242 $ 281,038 $ 540,204 Sporting goods, hobby, musical instrument, and book stores (NAICS 451) $ 4,604,319 $ 28,121 $ 4,576,198 Sporting goods, hobby, and musical instrument stores (NAICS 4511) $ 4,151,113 $ 28,121 $ 4,122,992 Sporting goods stores (NAICS 45111) $ 3,069,410 $ 28,121 $ 3,041,289 Hobby, toy, and game stores (NAICS 45112) $ 812,934 $ 0 $ 812,934 Sewing, needlework, and piece goods stores (NAICS 45113) $ 122,841 $ 0 $ 122,841 Musical instrument and supplies stores (NAICS 45114) $ 145,928 $ 0 $ 145,928 Book stores and news dealers (NAICS 4512) $ 453,206 $ 0 $ 453,206 Book stores (NAICS 451211) $ 422,950 $ 0 $ 422,950 News dealers and newsstands (NAICS 451212) $ 30,256 $ 0 $ 30,256 General merchandise stores (NAICS 452) $ 35,396,028 $ 631,624 $ 34,764,404 Department stores (NAICS 4522) $ 4,522,281 $ 0 $ 4,522,281 Other general merchandise stores (NAICS 4523) $ 30,873,746 $ 631,624 $ 30,242,123 Warehouse clubs and supercenters (NAICS 452311) $ 27,874,806 $ 631,624 $ 27,243,182 All other general merchandise stores (NAICS 452319) $ 2,998,941 $ 0 $ 2,998,941 Parcel 176-25-401-014, Las Vegas, NV 89141 Sitewise Online Retail Market Power Opportunity Gap Report By Retail Store Types Retail Market Power Opportunity Gap Report By Retail Store Types Parcel 176-25-401-014, Las Vegas, NV 89141 0 - 1 mi 2022 Demand 2022 Supply Opportunity Gap/Surplus

Parcel 176-25-401-014, Las Vegas, NV 89141

Sitewise Online Retail Market Power Opportunity Gap Report By Retail Store Types

* GAFO (General merchandise, Apparel, Furniture and Other) represents sales at stores that sell merchandise normally sold in department stores. This category is not included in Total Retail Sales Including Eating and Drinking Places.

Miscellaneous store retailers (NAICS 453) $ 6,174,515 $ 1,916,952 $ 4,257,563 Florists (NAICS 4531) $ 283,054 $ 0 $ 283,054 Office supplies, stationery, and gift stores (NAICS 4532) $ 1,405,468 $ 93,395 $ 1,312,073 Office supplies and stationery stores (NAICS 45321) $ 589,926 $ 0 $ 589,926 Gift, novelty, and souvenir stores (NAICS 45322) $ 815,542 $ 93,395 $ 722,147 Used merchandise stores (NAICS 4533) $ 912,678 $ 140,642 $ 772,036 Other miscellaneous store retailers (NAICS 4539) $ 3,573,314 $ 1,682,914 $ 1,890,400 Pet and pet supplies stores (NAICS 45391) $ 1,040,645 $ 70,458 $ 970,188 Art dealers (NAICS 45392) $ 606,374 $ 0 $ 606,374 Manufactured (mobile) home dealers (NAICS 45393) $ 387,265 $ 0 $ 387,265 All other miscellaneous store retailers (NAICS 45399) $ 1,539,030 $ 1,612,457 - $ 73,426 Tobacco stores (NAICS 453991) $ 382,936 $ 158,148 $ 224,787 All other miscellaneous store retailers (except tobacco stores) (NAICS 453998) $ 1,156,094 $ 1,454,308 - $ 298,214 Non-store retailers (NAICS 454) $ 48,531,034 $ 27,011,461 $ 21,519,572 Electronic shopping and mail-order houses (NAICS 4541) $ 46,025,033 $ 27,011,461 $ 19,013,573 Vending machine operators (NAICS 4542) $ 343,071 $ 0 $ 343,071 Direct selling establishments (NAICS 4543) $ 2,162,929 $ 0 $ 2,162,929 Fuel dealers (NAICS 45431) $ 1,029,583 $ 0 $ 1,029,583 Other direct selling establishments (NAICS 45439) $ 1,133,347 $ 0 $ 1,133,347 Food services and drinking places (NAICS 722) $ 36,027,173 $ 2,194,875 $ 33,832,297 Special food services (NAICS 7223) $ 2,874,848 $ 103,740 $ 2,771,108 Food service contractors (NAICS 72231) $ 2,275,236 $ 103,740 $ 2,171,496 Caterers (NAICS 72232) $ 546,446 $ 0 $ 546,446 Mobile food services (NAICS 72233) $ 53,166 $ 0 $ 53,166 Drinking places (alcoholic beverages) (NAICS 7224) $ 1,204,426 $ 23,668 $ 1,180,758 Restaurants and other eating places (NAICS 7225) $ 31,947,899 $ 2,067,468 $ 29,880,431 Full-service restaurants (NAICS 722511) $ 16,049,057 $ 547,427 $ 15,501,630 Limited-service restaurants (NAICS 722513) $ 13,494,236 $ 1,520,041 $ 11,974,195 Cafeterias, grill buffets, and buffets (NAICS 722514) $ 344,018 $ 0 $ 344,018 Snack and nonalcoholic beverage bars (NAICS 722515) $ 2,060,588 $ 0 $ 2,060,588 GAFO* $ 61,273,325 $ 5,964,505 $ 55,308,821 General Merchandise Stores-452 $ 35,396,028 $ 631,624 $ 34,764,404 Clothing & Clothing Accessories Stores-448 $ 11,500,767 $ 4,487,794 $ 7,012,973 Furniture & Home Furnishings Stores-442 $ 6,083,625 $ 0 $ 6,083,625 Electronics & Appliance Stores-443 $ 3,687,182 $ 816,873 $ 2,870,309 Sporting Goods, Hobby, Book, Music Stores-451 $ 4,604,319 $ 28,121 $ 4,576,198 Office Supplies, Stationery, Gift Stores-4532 $ 1,405,468 $ 93,395 $ 1,312,073
Retail Market Power Opportunity
By Retail Store Types Parcel 176-25-401-014, Las Vegas, NV 89141 0 - 1 mi 2022 Demand 2022 Supply Opportunity Gap/Surplus
Gap Report

Parcel 176-25-401-014, Las Vegas, NV 89141

Sitewise Online

Retail Market Power Opportunity Gap Report By Retail Store Types

Retail Market Power Opportunity Gap Report By

Retail Market Power data is derived from two major sources of information. The demand data is derived from the Consumer Expenditure Survey (CE Survey or CEX), which is fielded by the U.S. Bureau of Labor Statistics (BLS). The supply data is derived from the Census of Retail Trade (CRT), which is made available by the U.S. Census. Additional data sources are incorporated to create both supply and demand estimates. The difference between demand and supply represents the opportunity gap or surplus available for each merchandise line in the specified reporting geography. When this difference is positive (demand is greater than the supply), there is an opportunity gap for that merchandise line; when the difference is negative (supply is greater than demand), there is a surplus.

Copyright © 2022 Environics Analytics. All rights reserved.

176-25-401-014,
Parcel
Las Vegas, NV 89141 0 - 1 mi 2022 Demand 2022 Supply Opportunity Gap/Surplus

Traffic Listing

Parcel 176-25-401-014, Las Vegas, NV 89141

October 10, 2023

Powered by Sitewise
Data Source: Kalibrate TrafficMetrix
# Street Cross Street Dir. Volume Type/Year Dist. (mi) 1. South Jones Boulevard W Traviata Ave S 5,758 Current Year 0.2 2. Lindell Road S Lindell Rd S 1,547 Current Year 0.6 3. West Cactus Avenue Verona Wood St E 18,331 Current Year 0.7 4. South Lindell Road W Jo Rae Ave S 2,260 Current Year 0.8 5. South Southern Highlands Parkway W Joshua Path Ave S 21,762 Current Year 0.9 6. South Decatur Boulevard W Rush Ave N 13,982 Current Year 1.0
Map

Turn static files into dynamic content formats.

Create a flipbook
Issuu converts static files into: digital portfolios, online yearbooks, online catalogs, digital photo albums and more. Sign up and create your flipbook.