13685 SW Hathaway Ter, Tigard, OR

Page 1

HOME & COMMUNITY 13685 SW HATHAWAY TER TIGARD, OR 97223

TABLE OF

Property Details Maps Local Schools Community Utilities & Resources Title & Escrow 1. 2. 3. 4. 5. 6. The information contained is provided by WFG’s Customer Service Department to our customers, and while deemed reliable, is not guaranteed.
CONTENTS

DETAILS

1
PROPERTY

PROPERTY DETAILS

PROPERTY ADDRESS

13685 SW HATHAWAY TER TIGARD, OR 97223

OWNER INFORMATION

OWNER NAME: Smith, Kimberly S

VESTING:

MAILING ADDRESS: 13685 SW Hathaway Ter Tigard OR 97223

OWNER STATUS: Owner occupied

LOCATION DESCRIPTION

COUNTY: Washington

CENSUS / BLOCK: 031910 / 1016

TSP - RNG - SEC: 02S - 01W - 03

LOT / BLOCK: 25 /

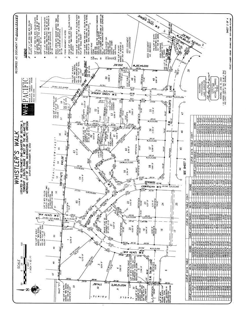
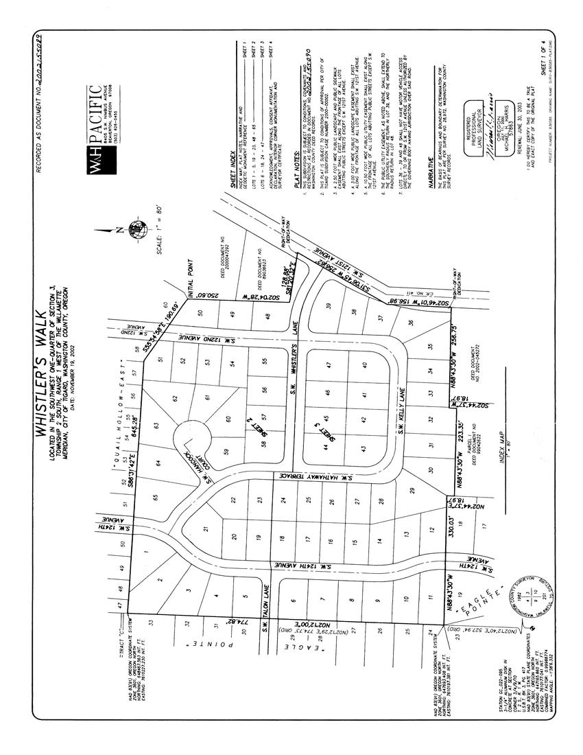
HOUSING TRACT: Whistler's Walk

ALT PARCEL #: R2116662

SCHOOL DISTRICT: Tigard-Tualatin

MUNICIPALITY: Whistler's Walk PARCEL #: R2116662

LAST MARKET SALE

DATE: 02/26/2004

PRIOR SALE

DATE: 10/28/2003

SALE PRICE: $320,000 DOCUMENT #: 0000018489 DOCUMENT #: 183105

SALE PRICE: $212,000

DOC TYPE: Deed DOC TYPE: Deed

SQUARE FOOT $: $62.56

LENDER:

LENDER: COUNTRYWIDE HOME LOANS INC LOAN: $304,000

LOAN: $278,400 LOAN TYPE: LOAN TYPE: LOAN TERM:

PROPERTY DETAILS

PROPERTY ADDRESS

HATHAWAY TER

BATH

FT

ACRES

PROPERTY CHARACTERISTICS

GROSS AREA: 3,389

LIVING AREA:

ABOVE GRADE:

BEDROOMS: 4 BATHROOMS: 3

FIREPLACE: 0

YEAR BUILT: 2003

PARKING TYPE: Finished Garage UNITS: BASEMENT:

GARAGE AREA: 534

ROOF SHAPE: Gable FOUNDATION: 01

ROOF MATERIAL: Composition CONSTRUCTIONS: Wood

HEAT TYPE: COOLING TYPE: EXTERIOR WALL: Wood Sheathing

ROOMS: QUALITY: INTERIOR WALL:

PORCH TYPE: PATIO TYPE: AIR COND: Y FIXTURES: FLOOR: EQUIPMENT: STORIES: POOL: CONDITION:

PROPERTY INFORMATION

LAND USE: Residential Improved

ZONING: Low Density Residential Distric COUNTY USE: Residence Single Family

LOT ACRES: 0.14

STATE USE:

LOT SQ FT: 6,098

LEN / WID:

TAXES AND ASSESSMENT INFORMATION

ASSD YEAR: 2021

ASSD VALUE: $368,990

TAXABLE VAL: TAX YEAR: 2021

LAND VALUE: $305,950

MKT VALUE: $587,080

TAX AREA: 23.74 IMP VALUE: $281,130

EXEMPTIONS:

PROPERTY TAX: $6,524.42 IMPROVED %: 48 DISTRICT:

13685 SW
TIGARD, OR 97223 4 BED 3
3,389 SQ
0.14

AVERAGES

AREA HISTORY

FOOT PRICE SQ FT PRICE

3 2.75 2,161 $304,613 $144

3 2.5 2,122 $297,987 $151

3 2.75 2,196 $327,771 $146

3 2.5 2,137 $335,373 $165

3 2.5 2,172 $420,353 $206

AVERAGE SALE PRICE

$304,613$297,987 $297,987 $327,771 $327,771$335,373

AVERAGE PRICE PER SQ FT

$151 $146 $165 $206

PROPERTY ADDRESS 13685 SW HATHAWAY TER TIGARD, OR 97223
BEDROOMS BATHROOMS SQUARE
2018
2019
2020
2021
2022
2018 2019 2020 2021 2022
$420,353 2018 2019 2020 2021 2022 $144

FEMALE POPULATION

70+ 60-69 50-59 40-49 30-39 20-29 10-29

70+ 60-69 50-59 40-49 30-39 20-29 10-29

MALE POPULATION

INFO

Male Head of Household 6.49%

Female Head of Household 15.96%

Married w/ Minors 35.29%

w/o Minors 42.26%

Male w/ Minors 3.58%

w/ Minors 9.73%

0%

DEMOGRAPHICS PROPERTY ADDRESS 13685 SW HATHAWAY TER TIGARD, OR 97223
| 55,218 HOUSING INFO
| 51,223 HOUSEHOLD
Married
Female
0% 10% 20% 30%
0-9 Urban Rural 106,130 311 Total Units Vacant Occupied 45,955 2,378 43,577
10% 20% 30%
0-9

AREA

2
MAPS

ASSESSOR MAP

STREET

AERIAL MAP

CITY BOUNDARY MAP

LOCAL

3
SCHOOLS

SCHOOLS

Tigard-Tualatin School Disrict

ELEMENTARY SCHOOLS

CHARTER SCHOOL: ADDRESS: 11265 Sw Gaarde St

NAME: Gaarde Christian School

MAGNET SCHOOL: CITY, STATE, ZIP: Tigard, OR 97224

AREA DESCRIPTION: 21-Suburb: Large PHONE: DISTANCE: 0.57 mile(s)

GRADES: Prekindergarten - 8th grade

TITLE ONE:

CHARTER SCHOOL: No ADDRESS: 12850 Sw Grant St

NAME: Charles F Tigard Elementary School

MAGNET SCHOOL:

AREA DESCRIPTION: 21-Suburb: Large PHONE: (503)431-4400 DISTANCE: 1.13 mile(s)

CITY, STATE, ZIP: Tigard, OR 97223

GRADES: Kindergarten - 5th Grade TITLE ONE: 1-Yes

MIDDLE SCHOOLS

NAME: Thomas R Fowler Middle School

CHARTER SCHOOL: No ADDRESS: 10865 Sw Walnut St

MAGNET SCHOOL: CITY, STATE, ZIP: Tigard, OR 97223

AREA DESCRIPTION: 21-Suburb: Large PHONE: (503)431-5000 DISTANCE: 1.05 mile(s)

GRADES: 6th Grade - 8th Grade TITLE ONE: 2-No

NAME: Twality Middle School

CHARTER SCHOOL: No ADDRESS: 14650 Sw 97Th Ave

MAGNET SCHOOL: CITY, STATE, ZIP: Tigard, OR 97224

AREA DESCRIPTION: 21-Suburb: Large PHONE: (503)431-5200 DISTANCE: 1.50 mile(s)

GRADES: 6th Grade - 8th Grade

HIGH SCHOOLS

TITLE ONE: 2-No

NAME: Southridge High School

CHARTER SCHOOL: No ADDRESS: 9625 Sw 125Th Ave MAGNET SCHOOL: CITY, STATE, ZIP: Beaverton, OR 97008

AREA DESCRIPTION: 13-City: Small PHONE: (503)356-2890

GRADES: 9th Grade - 12th Grade

DISTANCE: 2.02 mile(s)

TITLE ONE: 2-No

CHARTER SCHOOL: No ADDRESS: 9000 Sw Durham Rd MAGNET SCHOOL: CITY, STATE, ZIP: Tigard, OR 97224

NAME: Tigard High School

AREA DESCRIPTION: 21-Suburb: Large PHONE: (503)431-5400

DISTANCE: 2.12 mile(s) GRADES: 9th Grade - 12th Grade

TITLE ONE: 2-No

Students We Serve

OREGON AT-A-GLANCE DISTRICT PROFILE

Tigard-Tualatin SD 23J

Special Note

DEMOGRAPHICS

American Indian/Alaska

Black/African American

The At-A-Glance School and District profiles tell a story about Oregon’s schools and districts. The story is harder to tell this year as the COVID-19 pandemic significantly impacted our schools and the data we collect. As a result, statewide assessment and attendance data cannot be compared to prior years and are not shown here. We have included links to our website where you can view the 2020-21 statewide assessment and attendance data and read a detailed description of how these data were impacted. We’re thankful for your partnership as we focus on care, connection and the creation of safe, inclusive and supportive learning environments.

High School Success

Grade 8

MATHEMATICS

Students meeting state grade-level expectations.

Start Strong Grades K-2

REGULAR ATTENDERS

Students who attended more than 90% of their enrolled school days.

For 2020-21 Regular Attenders data please visit: www.oregon.gov/ode/schools-anddistricts/reportcards/reportcards/Pag es/Regular-Attenders-2021.aspx

Grade 3 ENGLISH LANGUAGE ARTS

Students meeting state grade-level expectations.

For 2020-21 English Language Arts data please visit: www.oregon.gov/ode/schools-anddistricts/reportcards/reportcards/Pag es/Statewide-Assessment-Results2021.aspx

Native

For 2020-21 Mathematics data please visit: www.oregon.gov/ode/schools-anddistricts/reportcards/reportcards/Pag es/Statewide-Assessment-Results2021.aspx

Grade 9 ON-TRACK TO GRADUATE

Students earning one-quarter of graduation credits in their 9th grade year.

Grade 12 ON-TIME GRADUATION

Students earning a diploma within four years. Cohort includes students who were first-time ninth graders in 2016-17 graduating in 2019-20.

84%

Oregon average 74%

District Goals

TTSD is committed to holding high expectations and belief in the success of every student. To meet the individual needs of our students, we focus on identifying and removing barriers that prevent their academic and social success. We hire talented staff who are catalysts for learning and have a commitment to culturally responsive instruction practices. Our focus: Every individual student feels safe, valued and responsibly prepared for success in a rapidly changing world.

State Goals

86%

Oregon average 83%

The Oregon Department of Education is partnering with school districts and local communities to ensure a 90% on-time, four year graduation rate by 2025. To progress toward this goal, the state will prioritize efforts to improve attendance, provide a wellrounded education, invest in implementing culturally responsive practices, and promote continuous improvement to close opportunity and achievement gaps for historically and currently underserved students.

2020-21
SUPERINTENDENT: Susan Rieke-Smith | 6960 SW Sandburg St, Tigard 97223 | 503-431-4000
Student Enrollment 11,687
Native Students <1% Teachers <1% Asian Students 5% Teachers 2%
Students 2% Teachers 1% Hispanic/Latino Students 28% Teachers 8% Multiracial Students 9% Teachers 2%
Hawaiian/Pacific Islander Students 2% Teachers 1% White Students 53% Teachers 86% Ever English Learners 23% Languages Spoken 79 Students with Disabilities 12% Mobile Students 8% Free/ Reduced Price Lunch 27% *<10 students or data unavailable
District Website: www.ttsdschools.org Eligibility for Free/Reduced Price Lunch expanded in 2020-21, for more information please visit: www.oregon.gov/ode/reports-and-data/

Outcomes

Grades K-2 REGULAR ATTENDERS

American Indian/Alaska Native Asian

Black/African American Hispanic/Latino

Multiracial

Native Hawaiian/Pacific Islander

White

Free/Reduced Price Lunch

Ever English Learner

Students with Disabilities Migrant Homeless

Talented and Gifted Female Male Non-Binary

Grade 8 MATHEMATICS

American Indian/Alaska Native Asian

Black/African American Hispanic/Latino

Multiracial

Native Hawaiian/Pacific Islander White

Free/Reduced Price Lunch

Ever English Learner

Students with Disabilities

Migrant Homeless Talented and Gifted Female Male Non-Binary

Grade 3 ENGLISH LANGUAGE ARTS

Grade 9 ON-TRACK TO GRADUATE

Grade 12 ON-TIME

OREGON AT-A-GLANCE DISTRICT PROFILE CONTINUED 2020-21Tigard-Tualatin SD 23J Our Staff (rounded FTE) 30 Administrators 653 Teachers 127 Educational assistants 25 Counselors 1 Licensed Librarians 12 Psychologists % of licensed teachers with more than 3 years of experience 87%
<10 students or data unavailable >95% 82% 71% 86% 45% 92% 67% 67% 70% <10 students or data unavailable 46% >95% 88% 81% <10 students or data unavailable
GRADUATION <10 students or data unavailable 93% 80% 77% 84% 69% 90% 77% 78% 58% <10 students or data unavailable 47% >95% 88% 84% Coming in 2022-23 Data are suppressed to protect confidential student information. Seismic Safety: http://www.oregongeology.org/sub/projects/rvs/activity-updates/status.html

Students We Serve

DEMOGRAPHICS

American

Black/African American

Native

SCHOOL

Charles F Tigard Elementary School

Special Note

The At-A-Glance School and District profiles tell a story about Oregon’s schools and districts. The story is harder to tell this year as the COVID-19 pandemic significantly impacted our schools and the data we collect. As a result, statewide assessment and attendance data cannot be compared to prior years and are not shown here. We have included links to our website where you can view the 2020-21 statewide assessment and attendance data and read a detailed description of how these data were impacted. We’re thankful for your partnership as we focus on care, connection and the creation of safe, inclusive and supportive learning environments.

Academic Success

ENGLISH LANGUAGE ARTS

Students meeting state grade-level expectations.

School Environment

REGULAR ATTENDERS

Students who attended more than 90% of their enrolled school days.

Academic Progress

INDIVIDUAL STUDENT PROGRESS

Year-to-year progress in English language arts and mathematics.

For 2020-21 English Language Arts data please visit: www.oregon.gov/ode/schools-anddistricts/reportcards/reportcards/Pag es/Statewide-Assessment-Results2021.aspx

For 2020-21 Regular Attenders data please visit: www.oregon.gov/ode/schools-anddistricts/reportcards/reportcards/Pag es/Regular-Attenders-2021.aspx

Data not available in 2020-21

School Goals

C.F. Tigard’s goals focus on raising the bar for all students and closing the access gap for our historically underserved students. Our teacher teams use Improvement Science and cycles of inquiry to inform practice and seek out the perspectives of our students, families, community and staff members. Explicit Instruction strategies, Social Emotional Learning tools, and structured collaboration meetings are all tools we will use.

MATHEMATICS

Students meeting state grade-level expectations.

SCIENCE

Students meeting state grade-level expectations.

For 2020-21 Mathematics data please visit: www.oregon.gov/ode/schools-anddistricts/reportcards/reportcards/Pag es/Statewide-Assessment-Results2021.aspx

For 2020-21 Science data please visit: www.oregon.gov/ode/schools-anddistricts/reportcards/reportcards/Pag es/Statewide-Assessment-Results2021.aspx

State Goals

The Oregon Department of Education is partnering with school districts and local communities to ensure a 90% ontime, four year graduation rate by 2025. To progress toward this goal, the state will prioritize efforts to improve attendance, provide a well-rounded education, invest in implementing culturally responsive practices, and promote continuous improvement to close opportunity and achievement gaps for historically and currently underserved students.

Safe & Welcoming Environment

TTSD continuously evaluates and responds to the needs of our ever-changing world. With an uncompromised commitment to the safety and well-being of our students and staff, we will maintain a safe, respectful and rigorous learning environment. Our goal is that all students attend school where they feel physically and emotionally safe and respected. We are led by district policies that mandate no discrimination or harassment of our students, families or employees based upon race, ethnicity, religion, national origin and other protected classes.

OREGON AT-A-GLANCE
PROFILE 2020-21
PRINCIPAL: Ryan Blasquez | GRADES: K-5 | 12850 SW Grant St, Tigard 97223 | 503-431-4400
Student Enrollment 444
Indian/Alaska Native Students <1% Teachers 0% Asian Students 4% Teachers 3%
Students 1% Teachers 3% Hispanic/Latino Students 29% Teachers 10% Multiracial Students 8% Teachers 7%
Hawaiian/Pacific Islander Students 4% Teachers 0% White Students 53% Teachers 77% Ever English Learners 21% Languages Spoken 14 Students with Disabilities 11% Required Childhood Vaccinations 92% Free/ Reduced Price Lunch >95% *<10 students or data unavailable
School Website: cft.ttsdschools.org Eligibility for Free/Reduced Price Lunch expanded in 2020-21, for more information please visit: www.oregon.gov/ode/reports-and-data/

Charles F Tigard Elementary School

REGULAR ATTENDERS

American Indian/Alaska Native Asian

Black/African American Hispanic/Latino

Multiracial

Native Hawaiian/Pacific Islander

White

Free/Reduced Price Lunch

Ever English Learner

Students with Disabilities

Migrant Homeless

Talented and Gifted Female Male Non-Binary

About Our School

BULLYING, HARASSMENT, AND SAFETY POLICIES

We are committed to a school environment that is free from hazing, harassment, intimidation, racism, bullying, cyberbullying, menacing or any threat to personal safety or race/national origin discrimination. This commitment is mandated by board policy and reinforced by our student handbook. TTSD students have the responsibility to respect the rights of others, seek help when they know about a wrongful act and resolve disputes peacefully. We teach anti-bullying lessons and provide professional supports around social, emotional, and behavioral health.

EXTRACURRICULAR ACTIVITIES

· Sport-Centered After School Programs

· Soccer Club in the Fall

· Track club in the Spring

· After School Enrichment, Sponsored by our Parent Support Organization (PSO) and Grupo de Padres Latinos (GPL)

Our Parent Support Organization(PSO) and our Grupo de Padres Latinos(GPL) are key partners in this work. We will adjust said program offerings based on family input and preferences.

ENGLISH LANGUAGE ARTS MATHEMATICS

PARENT ENGAGEMENT

TTSD creates a collaborative approach to student success through building culturally responsive relationships and meaningful engagement of ALL families. Resources tailored to meet the individual needs of every family like teacher webpages, ParentVue, newsletters, and conferences are ways we communicate to families on the growth and achievement of their students. We welcome parent volunteers into our classrooms and school. The rich educational environment we provide depends upon the involvement and guidance of family support and community support.

COMMUNITY ENGAGEMENT

The TTSD community has a long and proven history of support for education and their schools. We work every day to steward that support through preparing our students for success in school and life. Our district strives to provide world-class experiences exposing our students to innovative learning in state-of-the-art buildings delivered by best in class teachers. We recognize that we can only do this work in partnership with our community. We are grateful for the lifechanging assist we receive from our volunteers, businesses, civic groups, faith communities and countless others.

OREGON AT-A-GLANCE SCHOOL PROFILE CONTINUED 2020-21
Our Staff (rounded FTE) 25 Teachers 7 Educational assistants 1 Counselors/ Psychologists Average teacher retention rate 87% % of licensed teachers with more than 3 years of experience 82% Same principal in the last 3 years Yes Outcomes
Data are suppressed to protect confidential student information. For more information please visit: www.oregon.gov/ode/reports-and-data/

Students We Serve

DEMOGRAPHICS

American Indian/Alaska

AT-A-GLANCE SCHOOL

Thomas R Fowler Middle School

Black/African American

Special Note

The At-A-Glance School and District profiles tell a story about Oregon’s schools and districts. The story is harder to tell this year as the COVID-19 pandemic significantly impacted our schools and the data we collect. As a result, statewide assessment and attendance data cannot be compared to prior years and are not shown here. We have included links to our website where you can view the 2020-21 statewide assessment and attendance data and read a detailed description of how these data were impacted. We’re thankful for your partnership as we focus on care, connection and the creation of safe, inclusive and supportive learning environments.

Academic Success

ENGLISH LANGUAGE ARTS

Students meeting state grade-level expectations.

School Environment

REGULAR ATTENDERS

Students who attended more than 90% of their enrolled school days.

Academic Progress

INDIVIDUAL STUDENT PROGRESS

Year-to-year progress in English language arts and mathematics.

For 2020-21 Regular Attenders data please visit: www.oregon.gov/ode/schools-anddistricts/reportcards/reportcards/Pag es/Regular-Attenders-2021.aspx

Data not available in 2020-21

Native

For 2020-21 English Language Arts data please visit: www.oregon.gov/ode/schools-anddistricts/reportcards/reportcards/Pag es/Statewide-Assessment-Results2021.aspx

MATHEMATICS

Students meeting state grade-level expectations.

SCIENCE

Students meeting state grade-level expectations.

School Goals

Fowler’s mission is to develop well-rounded students who take responsibility for their education and are academically prepared for high school. We believe building positive relationships with our students is the foundation for their academic success. Our climate goal is focused on mindset language shifts regarding 4:1 positive to corrective interactions, and our academic goal is increasing student discourse in the classroom with the goal of 100% student engagement and opportunity for structured student talk time in every class every day.

For 2020-21 Mathematics data please visit: www.oregon.gov/ode/schools-anddistricts/reportcards/reportcards/Pag es/Statewide-Assessment-Results2021.aspx

For 2020-21 Science data please visit: www.oregon.gov/ode/schools-anddistricts/reportcards/reportcards/Pag es/Statewide-Assessment-Results2021.aspx

State Goals

The Oregon Department of Education is partnering with school districts and local communities to ensure a 90% ontime, four year graduation rate by 2025. To progress toward this goal, the state will prioritize efforts to improve attendance, provide a well-rounded education, invest in implementing culturally responsive practices, and promote continuous improvement to close opportunity and achievement gaps for historically and currently underserved students.

Safe & Welcoming Environment

TTSD continuously evaluates and responds to the needs of our ever-changing world. With an uncompromised commitment to the safety and well-being of our students and staff, we will maintain a safe, respectful and rigorous learning environment. Our goal is that all students attend school where they feel physically and emotionally safe and respected. We are led by district policies that mandate no discrimination or harassment of our students, families or employees based upon race, ethnicity, religion, national origin and other protected classes.

OREGON
PROFILE 2020-21
PRINCIPAL: Andrew Van Fleet | GRADES: 6-8 | 10865 SW Walnut St, Tigard 97223 | 503-431-5000
Student Enrollment 828
Native Students 0% Teachers 0% Asian Students 5% Teachers 0%
Students 2% Teachers 0% Hispanic/Latino Students 29% Teachers 13% Multiracial Students 7% Teachers 2%
Hawaiian/Pacific Islander Students 2% Teachers 2% White Students 55% Teachers 83% Ever English Learners 25% Languages Spoken 24 Students with Disabilities 13% Required Childhood Vaccinations 92% Free/ Reduced Price Lunch >95% *<10 students or data unavailable
School Website: fowler.ttsdschools.org Eligibility for Free/Reduced Price Lunch expanded in 2020-21, for more information please visit: www.oregon.gov/ode/reports-and-data/

Thomas R Fowler Middle School

REGULAR ATTENDERS

American Indian/Alaska Native Asian

Black/African American Hispanic/Latino

Multiracial

Native Hawaiian/Pacific Islander

White

Free/Reduced Price Lunch

Ever English Learner

Students with Disabilities

Migrant Homeless

Talented and Gifted Female Male Non-Binary

About Our School

BULLYING, HARASSMENT, AND SAFETY POLICIES

We are committed to a school environment that is free from hazing, harassment, intimidation, racism, bullying, cyberbullying, menacing or any threat to personal safety or race/national origin discrimination. This commitment is mandated by board policy and reinforced by our student handbook. TTSD students have the responsibility to respect the rights of others, seek help when they know about a wrongful act and resolve disputes peacefully. We teach anti-bullying lessons and provide professional supports around social, emotional, and behavioral health.

EXTRACURRICULAR ACTIVITIES

· 30% of students participate in extracurricular activities including: · Soccer, Basketball, Tennis, Track, Dance, Computer, Chess, Homework Club, Community Service, Band, Art, Affinity Groups, Technology clubs, Intercambio, Drama Club, Leadership, Gaming Club, Oregon Battle of the Books, Dodgeball, Juggling and more!

· Affinity Groups and No Place for Hate Club

· Music and drama performances

· AVID/Junior Squad

ENGLISH LANGUAGE ARTS MATHEMATICS

PARENT ENGAGEMENT

TTSD creates a collaborative approach to student success through building culturally responsive relationships and meaningful engagement of ALL families. Resources tailored to meet the individual needs of every family like teacher webpages, ParentVue, newsletters, and conferences are ways we communicate to families on the growth and achievement of their students. We welcome parent volunteers into our classrooms and school. The rich educational environment we provide depends upon the involvement and guidance of family support and community support.

COMMUNITY ENGAGEMENT

The TTSD community has a long and proven history of support for education and their schools. We work every day to steward that support through preparing our students for success in school and life. Our district strives to provide world-class experiences exposing our students to innovative learning in state-of-the-art buildings delivered by best in class teachers. We recognize that we can only do this work in partnership with our community. We are grateful for the lifechanging assist we receive from our volunteers, businesses, civic groups, faith communities and countless others.

OREGON AT-A-GLANCE SCHOOL PROFILE CONTINUED 2020-21
Our Staff (rounded FTE) 41 Teachers 7 Educational assistants 3 Counselors/ Psychologists Average teacher retention rate 92% % of licensed teachers with more than 3 years of experience 93% Same principal in the last 3 years No Outcomes
Data are suppressed to protect confidential student information. For more information please visit: www.oregon.gov/ode/reports-and-data/

Students We Serve

Tigard High School

Special Note

DEMOGRAPHICS

American

Black/African

Native

The At-A-Glance School and District profiles tell a story about Oregon’s schools and districts. The story is harder to tell this year as the COVID-19 pandemic significantly impacted our schools and the data we collect. As a result, statewide assessment and attendance data cannot be compared to prior years and are not shown here. We have included links to our website where you can view the 2020-21 statewide assessment and attendance data and read a detailed description of how these data were impacted. We’re thankful for your partnership as we focus on care, connection and the creation of safe, inclusive and supportive learning environments.

Academic Success

ON-TIME GRADUATION

Students earning a diploma within four years. Cohort includes students who were first-time ninth graders in 2016-17 graduating in 2019-20.

School Environment

REGULAR ATTENDERS

Students who attended more than 90% of their enrolled school days.

Academic Progress

ON-TRACK TO GRADUATE

Students earning one-quarter of graduation credits in their 9th grade year.

90%

Oregon average 83%

School Goals

At Tigard High, we build relationships, engage students and create an equitable community to foster diverse, lifelong learners. Our focus is on increasing opportunities for ALL students to demonstrate learning through culturally responsive practices and AVID strategies that include student discussion and collaboration. We will close the opportunity gap through relationship-building activities in classrooms and by providing mentors for students. Our complete Continuous Improvement Plan (CIP) is on our website.

For 2020-21 Regular Attenders data please visit: www.oregon.gov/ode/schools-anddistricts/reportcards/reportcards/Pag es/Regular-Attenders-2021.aspx

83%

Oregon average 74%

FIVE-YEAR COMPLETION

Students earning a high school diploma or GED within five years.

COLLEGE GOING

Students enrolling in a two or four year college within 16 months of completing high school in 201718. Data from the National Student Clearinghouse.

95%

Oregon average 87%

State Goals

The Oregon Department of Education is partnering with school districts and local communities to ensure a 90% ontime, four year graduation rate by 2025. To progress toward this goal, the state will prioritize efforts to improve attendance, provide a well-rounded education, invest in implementing culturally responsive practices, and promote continuous improvement to close opportunity and achievement gaps for historically and currently underserved students.

70%

Oregon average 62%

Safe & Welcoming Environment

TTSD continuously evaluates and responds to the needs of our ever-changing world. With an uncompromised commitment to the safety and well-being of our students and staff, we will maintain a safe, respectful and rigorous learning environment. Our goal is that all students attend school where they feel physically and emotionally safe and respected. We are led by district policies that mandate no discrimination or harassment of our students, families or employees based upon race, ethnicity, religion, national origin and other protected classes.

OREGON AT-A-GLANCE SCHOOL PROFILE 2020-21
PRINCIPAL: Brian Bailey | GRADES: 9-12 | 9000 SW Durham Rd, Tigard 97224 | 503-431-5400
Student Enrollment 1,736
Indian/Alaska Native Students 1% Teachers 0% Asian Students 6% Teachers 2%
American Students 2% Teachers 2% Hispanic/Latino Students 25% Teachers 4% Multiracial Students 7% Teachers 3%
Hawaiian/Pacific Islander Students 2% Teachers 1% White Students 58% Teachers 89% Ever English Learners 23% Languages Spoken 37 Students with Disabilities 11% Required Childhood Vaccinations 96% Free/ Reduced Price Lunch >95% *<10 students or data unavailable
School Website: ths.ttsdschools.org Eligibility for Free/Reduced Price Lunch expanded in 2020-21, for more information please visit: www.oregon.gov/ode/reports-and-data/

About

COURSEWORK

CAREER & TECHNICAL EDUCATION

ON-TRACK

EXTRACURRICULAR ACTIVITIES

PARENT & COMMUNITY ENGAGEMENT

Resources

individual

of every family like teacher

newsletters, and conferences

communicate to families on the growth and achievement of their students. We welcome parent volunteers into our classrooms and school. The rich educational environment we provide depends upon the involvement and guidance of family support and community support.

ways

OREGON AT-A-GLANCE SCHOOL PROFILE CONTINUED 2020-21Tigard High School Our Staff (rounded FTE) 93 Teachers 15 Educational assistants 7 Counselors/ Psychologists Average teacher retention rate 90% % of licensed teachers with more than 3 years of experience 89% Same principal in the last 3 years No Outcomes REGULAR ATTENDERS American Indian/Alaska Native Asian Black/African American Hispanic/Latino Multiracial Native Hawaiian/Pacific Islander White Free/Reduced Price Lunch Ever English Learner Students with Disabilities Migrant Homeless Talented and Gifted Female Male Non-Binary
TO GRADUATE <10 students or data unavailable >95% <10 students or data unavailable 70% 91% <10 students or data unavailable 90% 67% 65% 75% <10 students or data unavailable <10 students or data unavailable >95% 88% 80% <10 students or data unavailable ON-TIME GRADUATION <10 students or data unavailable 87% 82% 83% 84% 90% 94% 83% 83% 68% <10 students or data unavailable 67% >95% 91% 89% Coming in 2022-23
Our School ADVANCED
· International Baccalaureate Program · College Credit Bearing Courses · Portland Community College Partnership
· Audiovisual Communications Technologies · Elementary Education and Teaching · Computer Engineering Technology · Automotive Mechanics Technology · Marketing/Marketing Management · Computer Technology · Accounting and Finance · Construction Technology
· 17 Interscholastic Sports · 30 Academic and Service Clubs with Award Winning Speech Team · Robotics, National Honors Society, and Performing Arts · After school tutoring also occurs four days a week
TTSD creates a collaborative approach to student success through building culturally responsive relationships and meaningful engagement of ALL families.
tailored to meet the
needs
webpages, ParentVue,
are
we
Data are suppressed to protect confidential student information. For more information please visit: www.oregon.gov/ode/reports-and-data/
4 THE COMMUNITY

HOUSING

owner

POPULATION DENSITY

HISTORY

AGE DEMOGRAPHIC

24.1% under age 18

8.1% between ages 18 to 24

29.2% between ages 25 to 44

27.4% between ages 45 to 64

11.3% above age 65

CITY QUICK FACTS

10.6 miles southwest of downtown Portland

11.81 square miles

300 feet elevation

Average Temperature 80º

Average Temperature 46º

POPULATION 2010 CENSUS DATA MEDIAN INCOME 2000 CENSUS DATA MEDIAN AGE 2010 CENSUS DATA MALE 2010 CENSUS DATA FEMALE 2010 CENSUS DATA 48,035 $51,581 37.4 49% 51%
 60.86% of homes
occupied  39.14% of homes rented
 4,067.3 inhabitants per sq. mile  20,068 housing units at an average density of 1,699.2 per sq. mile
 Highest
 Lowest
 Tigard Tualatin

METRO AREA BASE MAP

LOCAL BUSINESSES

Car Dealer

Name Address Telephone Distance

May Auto Sales 15280 SW Pacific Hwy, Tigard, OR 97224, USA (503) 968-1111 0.59 miles

Brock Coleman Dealership 12700 SW Pacific Hwy, Tigard, OR 97223, USA (503) 407-9408 0.89 miles

Auto Propriety Company 17835 SW Pacific Hwy, Tualatin, OR 97062, USA (503) 486-5523 1.28 miles

CarMax 9405 SW Cascade Ave, Beaverton, OR 97008, USA (503) 574-2884 1.46 miles

Car Repair

Name

Address Telephone Distance

Glossworkz Finishes 10960 SW Garden Park Pl, Tigard, OR 97223, USA (503) 927-3127 0.44 miles

Meineke Car Care Center 13707 SW Pacific Hwy, Portland, OR 97223, USA (503) 567-7889 0.55 miles

Tigard Premier Auto Care 13880 SW Pacific Hwy, Tigard, OR 97223, USA (503) 639-4100 0.56 miles

AAMCO Transmissions & Total Car Care 13701 SW Pacific Hwy, Tigard, OR 97223, USA (503) 389-6473 0.57 miles

Car Wash

Name Address Telephone Distance

Kaady Car Washes 15450 SW 116th Ave, King City, OR 97224, USA (503) 624-0598 0.64 miles

United Car Wash 9855 SW Walnut Pl, Tigard, OR 97223, USA (503) 781-1406 0.84 miles

Kiss Car Wash 12390 SW Scholls Ferry Rd, Tigard, OR 97223, USA (503) 579-6716 0.94 miles

Kiss Car Wash 12475 SW Main St, Tigard, OR 97223, USA (503) 620-2184 1.04 miles

LOCAL BUSINESSES

Gas Station

Name Address Telephone Distance

Shell 11290 SW Bull Mountain Rd, Tigard, OR 97224, USA (503) 620-7405 0.45 miles

Chevron Tigard 13970 SW Pacific Hwy, Tigard, OR 97223, USA (503) 639-8428 0.54 miles

Arco 15300 SW Royalty Pkwy, King City, OR 97224, USA (503) 684-4022 0.62 miles

Astro 12885 SW Pacific Hwy, Portland, OR 97223, USA (503) 639-8784 0.81 miles

Bank Name Address Telephone Distance

ATM W. Coast Bank 15340 SW Royalty Pkwy, King City, OR 97224, USA (800) 627-3999 0.61 miles

Washington Federal Bank 15444 SW Pacific Hwy, Tigard, OR 97224, USA (503) 639-5546 0.63 miles

KeyBank 15805 SW 116th Ave, King City, OR 97224, USA (503) 620-3513 0.70 miles

U.S. Bank Branch 15900 SW 116th Ave, Tigard, OR 97224, USA (503) 620-1901 0.71 miles

Beauty Salon

Name Address Telephone Distance

Salon Mariposa LLC 12950 SW Pacific Hwy #275, Portland, OR 97223, USA (503) 372-9399 0.80 miles

Beauty by Shaida

Optima Salons, 14900 SW Barrows Rd Bldg 102 Room 18, Beaverton, OR 97007, USA 0.83 miles

Optima Salon Suites 14900 SW Barrows Rd #102, Beaverton, OR 97007, USA (503) 766-4747 0.83 miles

Ziba Salon 15135 SW Barrows Rd #139, Beaverton, OR 97007, USA (503) 430-0008 0.92 miles

LOCAL BUSINESSES

Moving Company

Name Address Telephone Distance

Handy Haulers Moving LLC 14050 SW Pacific Hwy, Portland, OR 97224, USA (971) 279-5528 0.53 miles

College Hunks Hauling Junk and Moving 10120 SW Nimbus Ave STE C4, Portland, OR 97223, USA (503) 436-6954 1.23 miles

West Side Moving & Storage 14101 SW 72nd Ave, Portland, OR 97224, USA (503) 684-0055 1.64 miles

ITS Global Relocation Services 6713 SW Bonita Rd Suite 250, Tigard, OR 97224, USA (503) 444-8811 1.77 miles

Painter

Name Address Telephone Distance

Velazquez Painting & Construction LLC 13500 SW Pacific Hwy Suite 58#203, Tigard, OR 97223, USA (503) 755-8544 0.66 miles

A-1 Paint Removal Painting & Restoration 15532 SW Pacific Hwy C1B #418, Tigard, OR 97224, USA (503) 537-0810 0.68 miles

CertaPro Painters of SW Portland, OR 8900 SW Burnham St Suite E12, Tigard, OR 97223, USA (503) 344-4940 1.08 miles

ROSE CITY PAINTING AND DECORATING LLC 12210 SW Main St, Tigard, OR 97223, USA (503) 960-4692 1.16 miles

LOCAL BUSINESSES

Electrician

Name Address Telephone Distance

Dickinson's Electric Inc 9625 SW Frewing St, Tigard, OR 97223, USA (503) 246-3550 0.87 miles

Frahler Electric 11860 SW Greenburg Rd, Tigard, OR 97223, USA (503) 639-4627 1.23 miles

Independent Electrical Contractors of Oregon 11481 SW Hall Blvd STE 100, Tigard, OR 97223, USA (503) 598-7789 1.34 miles

ABC Electric 19380 SW 118th Ave, Tualatin, OR 97062, USA (503) 233-7551 1.74 miles

Insurance Agency

Name Address Telephone Distance

Nationwide Insurance: Andrews Agency LLC 14050 SW Pacific Hwy Ste 100, Tigard, OR 97224, USA (503) 684-1706 0.53 miles

Michael Nelson - State Farm Insurance Agent 10580 SW McDonald St #103, Tigard, OR 97224, USA (503) 825-7707 0.56 miles

Farmers InsuranceZahira Cabral 10580 SW McDonald St Ste 203, Tigard, OR 97224, USA (503) 601-2077 0.57 miles

Jared Walthard American Family Insurance 15405 SW 116th Ave, Portland, OR 97224, USA (503) 443-1923 0.63 miles

LOCAL BUSINESSES

Plumber

Name Address Telephone Distance

Pipeline Plumbing & Drains 9780 SW Tigard St, Tigard, OR 97034, USA (503) 624-1906 0.95 miles

Bruner Plumbing Inc 9394 SW Tigard St, Tigard, OR 97223, USA (503) 624-4880 1.03 miles

Sewer Renewal Specialists, LLC 12210 SW Main St #230147, Tigard, OR 97223, USA (971) 803-2042 1.16 miles

John D Plumbing 7472 SW Fir St, Tigard, OR 97223, USA (503) 620-7600 1.53 miles

Post Office

Name Address Telephone Distance

Postal Connection 16200 SW Pacific Hwy suite h, Tigard, OR 97224, USA (503) 639-6755 0.83 miles

USPS Mail Collection Box 12150 OR-210, Beaverton, OR 97008, USA 0.95 miles

United States Postal Service 12210 SW Main St, Portland, OR 97223, USA (800) 275-8777 1.16 miles

Sherwood Post Office 16300 SW Langer Dr, Sherwood, OR 97140, USA (503) 625-2512 2.63 miles

Storage

Name Address

Telephone Distance

Public Storage 13473 SW Pacific Hwy, Tigard, OR 97223, USA (971) 238-6066 0.61 miles

Public Storage 15700 SW Pacific Hwy, Tigard, OR 97224, USA (503) 974-8722 0.70 miles

StorQuest Self Storage 12800 SW Pacific Hwy, Tigard, OR 97224, USA (503) 902-6127 0.87 miles

Extra Space Storage 16705 SW Pacific Hwy, Tigard, OR 97224, USA (503) 620-2040 0.94 miles

LOCAL BUSINESSES

Police Station

Name Address Telephone Distance

King City Police Department 15300 SW 116th Ave, Portland, OR 97224, USA (503) 620-8851 0.59 miles

Tigard Police Department 13125 SW Hall Blvd, Tigard, OR 97223, USA (503) 629-0111 1.13 miles

Tualatin City Police Department 18622 SW Boones Ferry Rd, Tualatin, OR 97062, USA (503) 692-2000 2.08 miles

Binky Patrol 6490 SW Elm Ave, Beaverton, OR 97005, USA 2.43 miles

Fire Station

Name Address Telephone Distance

TVF&R Station 50 12617 SW Walnut St, Tigard, OR 97223, USA (503) 649-8577 0.31 miles

Lake Grove Fire District #57 17665 Pilkington Rd, Lake Oswego, OR 97035, USA (503) 908-1039 2.34 miles

Lake Oswego Fire Dept. Station 210 4900 Melrose St, Lake Oswego, OR 97035, USA (503) 635-0275 2.40 miles

Portland Fire Station 18 8720 SW 30th Ave, Portland, OR 97219, USA 3.41 miles

LOCAL BUSINESSES

Hospital

Name Address Telephone Distance

PROVIDENCE MEDICAL CENTER 12442 SW Scholls Ferry Rd, Tigard, OR 97223, USA (503) 216-9140 0.95 miles

A M I N C M Life Lake Oswego 12725 SW 66th Ave, Portland, OR 97223, USA (971) 245-6123 1.81 miles

Legacy Meridian Park Medical Center 19300 SW 65th Ave, Tualatin, OR 97062, USA (503) 692-1212 2.63 miles

St. Vincent's Hospital West Pavilion 9369 SW Barnes Rd, Portland, OR 97225, USA (503) 216-1234 3.95 miles

Pharmacy

Name Address Telephone Distance

Kelly Woldt

13939 SW Pacific Hwy, Tigard, OR 972234838, USA (503) 670-9812 0.52 miles

Anthony Dramov, PharmD 15585 SW 116th Ave, Portland, OR 97224, USA (503) 639-7377 0.65 miles

Stephanie Vang, PharmD 15570 SW Pacific Hwy, Tigard, OR 97224, USA (503) 598-6009 0.69 miles

Albertsons Pharmacy 14300 SW Barrows Rd, Tigard, OR 97223, USA (503) 590-0411 0.72 miles

LOCAL BUSINESSES

Urgent Care

Name Address Telephone Distance

Providence Medical Group - Scholls Immediate Care 12442 SW Scholls Ferry Rd Suite 100, Tigard, OR 97223, USA (503) 216-9254 0.94 miles

One Medical 12180 SW Scholls Ferry Rd, Tigard, OR 97223, USA (503) 342-2520 0.94 miles

Scholls Family Care 14795 SW Murray Scholls Dr # 121, Beaverton, OR 97007, USA (503) 747-4936 1.04 miles

ZOOM+Care 11355 SW Scholls Ferry Rd, Beaverton, OR 97008, USA (503) 684-8252 1.13 miles

Veterinary Care

Name Address Telephone Distance

Canterbury Animal Hospital 14350 SW Pacific Hwy, Portland, OR 97224, USA (503) 620-1300 0.51 miles

Tigard Animal Hospital 15294 SW Royalty Pkwy, Tigard, OR 97224, USA (503) 684-3133 0.64 miles

Community Pet Hospital 13500 SW Pacific Hwy #54, Tigard, OR 97223, USA (503) 670-9707 0.66 miles

Willowbrook Veterinary Hospital 11545 SW Durham Rd, Tigard, OR 97224, USA (503) 968-2911 0.72 miles

LOCAL BUSINESSES

Bowling Alley

Name Address Telephone Distance

Big Al's 14950 SW Barrows Rd, Beaverton, OR 97007, USA (503) 748-6118 0.83 miles

Tigard Bowl 11660 SW Pacific Hwy, Tigard, OR 97223, USA (503) 639-2001 1.64 miles

Langer's Entertainment Center 21650 SW Langer Farms Pkwy, Sherwood, OR 97140, USA (503) 625-1800 2.67 miles

SuperPlay 9300 SW Beaverton Hillsdale Hwy, Beaverton, OR 97005, USA (503) 292-3523 2.90 miles

Campground

Name Address Telephone Distance

Roamers Rest RV Park 17585 SW Pacific Hwy, Tualatin, OR 97062, USA (503) 692-6350 1.22 miles

Pheasant Ridge RV Park 8275 SW Elligsen Rd, Wilsonville, OR 97070, USA (503) 682-7829 3.84 miles

Tent Camping 4838 N Drew St, Portland, OR 97203, USA 7.42 miles

Champoeg Group Camp Sites (Beaver, Otter, Heron) Champoeg State Park, St Paul, OR 97137, USA (503) 678-1251 7.54 miles

LOCAL BUSINESSES

Gym

Name Address Telephone Distance

Planet Fitness 16200 SW Pacific Hwy Ste N Suite N, Tigard, OR 97224, USA (971) 724-0867 0.84 miles

Anytime Fitness 16200 SW Pacific Hwy, Tigard, OR 97224, USA (503) 596-2576 0.85 miles

Jack Ryan Gymnasium SW Johnson St, Tigard, OR 97223, USA 0.91 miles

Tough Mudder Bootcamp Progress Ridge 12345 SW Horizon Blvd Suite 53, Beaverton, OR 97007, USA (503) 747-7416 0.91 miles

Library

Name Address Telephone Distance

Little Free Living Library 13000 SW Creekshire Dr, Tigard, OR 97223, USA (214) 457-3450 0.69 miles

Beaverton City Library at Murray Scholls 11200 SW Murray Scholls Pl, Beaverton, OR 97007, USA (503) 644-2197 1.02 miles

Tigard Public Library 13500 SW Hall Blvd, Tigard, OR 97223, USA (503) 684-6537 1.20 miles

Tualatin Public Library 18878 SW Martinazzi Ave, Tualatin, OR 97062, USA (503) 691-3074 2.10 miles

Movie Theater

Name Address

Telephone Distance

AMC DINE-IN Progress Ridge 13 12345 SW Horizon Blvd #231, Beaverton, OR 97007, USA (503) 549-2293 0.92 miles

Joy Cinema 11959 SW Pacific Hwy, Portland, OR 97223, USA (971) 245-6467 1.29 miles

Regal Tigard 11626 SW Pacific Hwy, Tigard, OR 97223, USA (844) 462-7342 1.69 miles

Century 16 Cedar Hills 3200 SW Hocken Ave, Beaverton, OR 97005, USA (503) 520-0892 3.31 miles

LOCAL BUSINESSES

Park

Name Address Telephone Distance

Park Tigard, OR 97223, USA 0.08 miles

Bull Mountain Park 13950 SW Alpine Crest Way, Tigard, OR 97224, USA (503) 718-2591 0.25 miles

Elizabeth Price Park 13001 SW Bull Mountain Rd, Tigard, OR 97224, USA 0.36 miles

Jack Park 12420 SW 127th Ave, Tigard, OR 97223, USA 0.41 miles

Summerlake City Park 11450 SW Winter Lake Dr, Tigard, OR 97223, USA (503) 718-2641 0.71 miles

Coffee Name Address Telephone Distance

Dutch Bros Coffee 13765 SW Pacific Hwy, Tigard, OR 97223, USA (541) 955-4700 0.56 miles

Black Rock Coffee Bar 15290 SW Pacific Hwy, Tigard, OR 97224, USA 0.60 miles

Starbucks 13560 SW Pacific Hwy, Tigard, OR 97223, USA (503) 598-0638 0.62 miles

Coffee Time 15555 SW 116th Ave, Portland, OR 97224, USA (503) 620-2811 0.64 miles

LOCAL BUSINESSES

Meal Delivery

Name Address Telephone Distance

Godfather's Pizza 14200 SW Barrows Rd, Tigard, OR 97223, USA (503) 590-0900 0.76 miles

Hot Plate Asian Cuisine 14845 SW Murray Scholls Dr #102, Beaverton, OR 97007, USA (503) 590-9808 1.03 miles

Wholesale Nuts And Dried Fruit 9450 SW Gemini Dr, Beaverton, OR 97008, USA (267) 225-8673 1.39 miles

Life Changing Dinners 7150 SW Hampton St, Tigard, OR 97223, USA (971) 317-8922 1.67 miles

Restaurant

Name Address Telephone Distance

Malai Thai Restaurant 14297 SW Pacific Hwy, Tigard, OR 97224, USA (503) 684-9749 0.47 miles

Elmer's Restaurant (Tigard, OR) 14055 SW Pacific Hwy, Tigard, OR 97224, USA (503) 620-6440 0.50 miles

Blazin Gyros

13815 SW Pacific Hwy #110, Portland, OR 97223, USA (503) 530-8069 0.53 miles

D D Thai Fusion 13600 SW Pacific Hwy, Portland, OR 97223, USA (503) 707-6525 0.65 miles

Bakery

Name Address Telephone Distance

Safeway Bakery 15570 SW Pacific Hwy, King City, OR 97224, USA (503) 598-6001 0.69 miles

Crumbl Cookies - Progress Ridge 14900 SW Barrows Rd Suite 104, Beaverton, OR 97007, USA (971) 317-9412 0.83 miles

Safeway Bakery 14555 SW Teal Blvd, Beaverton, OR 97007, USA (503) 590-9755 1.15 miles

Franz Bakery Outlet 10840 SW Cascade Ave, Tigard, OR 97223, USA (503) 639-6806 1.18 miles

LOCAL BUSINESSES

Bar

Name Address Telephone Distance

Foxy’s 14295 SW Pacific Hwy, Tigard, OR 97224, USA (971) 225-0551 0.48 miles

Tapphoria 13815 SW Pacific Hwy #40, Tigard, OR 97223, USA (971) 371-3979 0.54 miles

Bull Mountain Bar & Grill 13727 SW Pacific Hwy, Tigard, OR 97223, USA (503) 443-3888 0.56 miles

Home Turf Sports Bar & Grill 13500 SW Pacific Hwy #34, Tigard, OR 97223, USA (503) 968-5778 0.68 miles

Groceries

Name Address Telephone Distance

H Mart 13600 SW Pacific Hwy, Portland, OR 97223, USA (503) 620-6120 0.66 miles

New Seasons Market 14805 SW Barrows Rd, Beaverton, OR 97007, USA (503) 597-6777 0.85 miles

Whole Foods Market 12220 SW Scholls Ferry Rd, Tigard, OR 97223, USA (971) 371-7000 0.93 miles

Target Grocery 9009 SW Hall Blvd, Tigard, OR 97223, USA (503) 624-0273 1.60 miles

Home Improvement

Name Address Telephone Distance

Closets To Go 9540 SW Tigard St, Tigard, OR 97223, USA (888) 312-7424 0.99 miles

Ashley HomeStore 10329 SW Cascade Ave, Tigard, OR 97223, USA (888) 956-4663 1.22 miles

Cost Plus World Market 10108 SW Washington Square Rd, Tigard, OR 97223, USA (503) 968-2060 1.38 miles

Pottery Barn 9619 SW Washington Square Rd Ste C01A, Tigard, OR 97223, USA (503) 443-1139 1.44 miles

LOCAL BUSINESSES

Jewelry Store

Name Address Telephone Distance

Sherrie's Jewelry Box 12425 SW Main St, Tigard, OR 97223, USA (503) 598-0144 1.06 miles

AB Gem Lab 14780 SW Osprey Dr #8109, Beaverton, OR 97007, USA (503) 524-6896 1.17 miles

Shane Co. 9730 SW Cascade Ave, Tigard, OR 97223, USA (503) 598-7900 1.37 miles

MiaDonna 10250 SW Greenburg Rd Suite 125, Portland, OR 97223, USA (503) 336-1581 1.40 miles

Pet Store

Name Address Telephone Distance

Petco 15660 SW Pacific Hwy, Tigard, OR 97224, USA (503) 443-1070 0.68 miles

Unleashed by Petco 12305 SW Horizon Blvd Ste 23, Beaverton, OR 97007, USA (503) 524-7667 0.88 miles

Pet Supplies Plus 12184 SW Scholls Ferry Rd, Portland, OR 97223, USA 0.95 miles

Mud Bay 12186 SW Scholls Ferry Rd, Tigard, OR 97223, USA (503) 747-5180 0.95 miles

LOCAL BUSINESSES

Shoe Store

Name Address Telephone Distance

Foot Solutions Tigard 16200 SW Pacific Hwy, Tigard, OR 97224, USA (503) 624-6400 0.83 miles

When the Shoe Fits Progress Ridge 14925 SW Barrows Rd #105, Beaverton, OR 97007, USA (503) 746-4609 0.85 miles

Priority Footwear 10240 SW Nimbus Ave l1, Tigard, OR 97223, USA (503) 524-9656 1.19 miles

Foot Locker 9459 SW Washington Square Rd, Tigard, OR 97223, USA (503) 684-2053 1.38 miles

Liquor Store

Name Address

Telephone Distance

King City Liquor Store 15745 SW 116th Ave, Portland, OR 97224, USA (503) 620-5115 0.68 miles

Murray Scholls Liquor 14700 SW Murray Scholls Dr, Beaverton, OR 97007, USA (503) 521-9032 1.01 miles

Tigard Liquor Store 12490 SW Main St, Portland, OR 97223, USA (503) 639-1483 1.04 miles

Beer & Wine Outlet- No Liquor 12215 SW Main St, Tigard, OR 97223, USA 1.15 miles

Furniture Store

Name Address Telephone Distance

JR Furniture 14255 SW Pacific Hwy, Tigard, OR 97224, USA (503) 968-8898 0.48 miles

Mor Furniture for Less 10487 SW Cascade Ave, Tigard, OR 97223, USA (503) 639-0840 1.21 miles

Ashley HomeStore 10329 SW Cascade Ave, Tigard, OR 97223, USA (888) 956-4663 1.22 miles

Broadway Furniture 11875 SW Pacific Hwy, Tigard, OR 97223, USA (503) 281-5555 1.33 miles

LOCAL BUSINESSES

Shopping Mall

Name Address Telephone Distance

Canterbury Square Shopping Center 14385 SW Pacific Hwy, Tigard, OR 97224, USA 0.44 miles

Tigard Promenade 15280 SW Pacific Hwy, Tigard, OR 97224, USA (858) 255-4918 0.59 miles

Tigard Marketplace 13500 SW Pacific Hwy, Tigard, OR 97223, USA 0.64 miles

King City Plaza 15075 SW 116th Ave, King City, OR 97224, USA (510) 368-5465 0.67 miles

Airport

Name Address Telephone Distance

Parrett Mountain Airport28OR 33300 NE Haugen Rd, Newberg, OR 97132, USA (503) 538-4410 5.52 miles

Hillsboro Airport 3355 NE Cornell Rd, Hillsboro, OR 97124, USA (503) 693-1963 6.46 miles

NE T Hangars HIO Airport 4226 NE Penny Way Bldg 3, Hillsboro, OR 97124, USA 6.54 miles

Aeroacres Airport-OG30 20000 S Leland Rd, Oregon City, OR 97045, USA (503) 656-9675 7.52 miles

Train Station

Name

Address Telephone Distance

Tigard TC WES Station Tigard, OR 97223, USA 1.12 miles

Hall/Nimbus WES Station Beaverton, OR 97008, USA 1.65 miles

Tualatin WES Station Tualatin, OR 97062, USA 2.01 miles

Beaverton TC WES Station Beaverton, OR 97005, USA 2.99 miles

UTILITIES &

5
RESOURCES

UPDATER

is totally optional!

Use Updater to:

Forward USPS mail

Reserve a mover online

Update your accounts

Connect utilities

Hook up home services

Search move-in special offers

Share moving announcements with friends & family

For more information on Updater, visit; https://wfgoregon.updater.com/sign-up

Emergency

Police/Medical/Fire 911 Poison Control (800) 222 1222 www.aapcc.org

United States Postal Service (800) 275-8777 www.usps.com

Xfinity (800) 266-2278 www.xfinity.com

Ziply Fiber (866) 699-4759 www.ziplyfiber.com

Verizon (800) 483 4100 www.verizon.com

TIGARD UTILITIES

AT&T (800) 288 2020 www.att.com

CenturyLink (866) 963 6665 www.centurylinkcom

Dish Network (800) 318 0572 www.dish.com

DIRECT TV (800) 531-5000 www.directtv.com

The Oregonian (503) 221 8240 www.oregonlive.com

TRI-MET (503) 238 7433 www.trimet.org

Northwest Natural Gas (800) 422 4012 www.nwnatural.com

Portland General Electric (503) 228 6322 www.portlandgeneral.com

City of Tigard Water Provider (503) 718-2460 www.tigard or.gov

Clean Water Services Sewer (503) 681 3600 www.cleanwaterservices.org

Pride Disposal (503) 625 6177 www.pridedisposal.com

Tigard/Tualatin School District (503) 431 4000 www.ttsdschools.org

CHANGE OF ADDRESS

USPS

Below is the website if you would like to change your address online or you can visit your local post office, they will provide you with the change of address packet. https://moversguide.usps.com

Benefits you will receive when you change your address online are:

Exclusive mover savings coupons

Safe and secure with identity verification by a simple $1.00 charge to your credit or debit card

Email confirmation at the end of registration of your change of address

* Must have valid email address and credit card to register online.

AUTO REGISTRATION AND DRIVER LICENSING

Below is the website if you would like to change your address online or you can visit your local DMV office.

Oregon Department of Transportation DMV Services 1905 Lana Avenue NE Salem, OR 97314-0100

www.oregondmv.com/oregon/index.htm

General DMV Information Contact: 503-299-9999

VOTERS REGISTRTION

TO REGISTER TO VOTE, YOU MUST BE:

A citizen of the USA

A resident of Oregon

A Legal Resident of Oregon State at least 18 years of age on or before the next election.

HOW TO REGISTER

To register to vote online you will need an Oregon driver's license, permit or ID card number issued by the Oregon Driver and Motor Vehicle Services Division (DMV).

If you do not have an Oregon driver's license, permit or ID card, you can still use the online voter registration application. The information you enter will display on a voter registration card (PDF document) that you will need to print, sign and deliver to your county elections office to complete your registration.

REGISTRATION DEADLINE

A new registrant must submit their online registration by 11:59:59 p.m. Pacific Time on the 21st calendar day before an election to be eligible to vote in that election.

CHANGE OF ADDRESS

If you move to a new county, you must complete a new voter registration, otherwise you must request a transfer of your registration.

Clackamas County Voter Registration: 503-655-8510

Multnomah County Voter Registration: 503-988-3720

Washington County Voter Registration: 503-846-5800

MOVING CHECKLIST

UTILITIES

Electric

NWNaturalGas WaterDistrict SewerDistrict GarbageProvider Cable/Satellite Fuel(Propane) PhoneServices

Internet

FINANCIAL

BanksandCreditUnions CreditCardCompanies (includingdepartmentstorecreditcards) Lenders

(Mortgage,HomeEquity,Auto,StudentLoans) InsuranceCompanies (Health,Renters,Auto,Home,Medical,Dental,Disability,Life) Retirement (Pensionplans,401K,SocialSecurity,VeteransAffairs) Investments(InvestmentAgenciesandBrokers) OnlineBillPayer Paypal

GOVERNMENT

USPostOffice

DepartmentofMotorVehicles (Obtainyourdriver’slicenseandchangevehicleregistration)

IRS

PassportOffice

VeteranAffairs UnemploymentOffice (Ifyouarecurrentlyreceivingunemploymentbenefits)

HEALTH

Physician Pharmacies

Childcare Housecleaning Services Delivery Services

Lawn Care Services Veterinarian Pool Service

MEMBERSHIPS

SERVICE PROVIDER Health Clubs Membership Clubs(AAA or similar) Community Groups (PTA, Neighborhood Associations, Civic Clubs) Children’s Extracurricular Activities (Dance Classes, Music Lesson, Sports Clubs)

SUBSCRIPTIONS

Newspapers

Magazine(USPS will only forward 2 months) Movie Subscriptions Book or Music Clubs

OTHER

Friends and Family

Employers (typically notify the HR Department)

8 WEEK BEFORE YOU MOVE

8InventorySheets:Createaninventorysheetofallyour belongingswhichneedtobemoved

ResearchMovingOptions:You’llneedtodecideifyoursisa do-it-yourselfmoveorifyou’llbeusingamovingcompany.

RequestMovingQuote:Solicitmovingquotesfromasmany movingcompaniesandmoversaspossible.Therecanbea largedifferencebetweenratesandserviceswithinmoving companies.

DiscardUnnecessaryItems:Movingisagreattimefor riddingyourselfofunnecessaryitems.Haveayardsaleor donateunnecessaryitemstocharity.

PackingMaterial:Gathermovingboxesandpacking materialforyourmove.

ContactInsuranceCompanies:You’llneedtocontactyour insuranceagenttocancel/transferyourinsurancepolicy.

4

4 WEEK BEFORE YOU MOVE

StartPacking:Beginpackingallthingsdestinedforyournew location.

ObtainYourMedicalRecords:Contactyourdoctor,physician, dentistandothermedicalspecialistswhomaycurrentlybe retaininganyofyourfamily’smedicalrecords.Obtainthese recordsormakeplansforthemtobedeliveredtoyournew medicalfacilitiesifchanging.Securityiscriticalofpersonal records.

NoteFoodInventoryLevels:Checkyourcupboards, refrigeratorandfreezer.Useupasmuchofyourperishable foodaspossible.

SmallEngines:Servicesmallenginesforyourmoveby extractinggasandoilfromthemachines.Thiswillreduce thatchancetocatchfireduringyourmove. ProtectJewelryandValuables:Transferyourjewelryand valuablestoasafetydepositbox;youdon’twantthemtobe lostorstolenduringyourmove.

BorrowedandRentedItems:Returnitemsthatyoumay haveborrowedorrented.Collectitemsborrowedtoothers.

1 WEEK BEFORE YOU MOVE

1YourChangeofAddress:Changeyouraddresswiththe USPS,DMV,FinancialInstitutions,Utilities,Government Offices,HealthCareServiceProviders,Memberships, SubscriptionsandInsuranceProvisions.

BankAccounts:Transferorclosebankaccountsifchanging banks.Makesuretohaveamoneyorderforpayingthe movingcompany.

ServiceAutomobiles:Ifautomobilesaretobedrivenlong distance,you’llwanttohavethemservicedsoyouhavea trouble-freedrive.

CancelServices:Notifyanyremainingserviceproviders (newspapers,lawnservices,etc.)ofyourmove.

TravelItems:Setasideallitemsyou’llneedwhiletraveling. Makesurethesearenotpackedonthemovingtruck..

ContactUtilityCompanies:Setutilityturnoffdate,seek refundsanddepositsandnotifythemofyournewaddress.

MOVING DAY

PlanYourItinerary:Makeplanstospendtheentiredayat thehouseoratleastuntilthemoversareontheirway. Someonewillneedtobearoundtomakedecisions.Make plansforkidsandpetstobeatasittersfortheday.

ReviewtheHouse:Oncethehouseisempty,checkthe entirehouse(closets,attic,basement,etc.)toensureno itemsareleftornohomeissuesexist.

DoubleCheckWithYourMover:Ensurethemoverhasthe newpropertyaddressandallofyourmostrecentcontact information,shouldtheyhaveanyquestionsduringyour move.

VacateYourHome:Makesureutilitiesareoff,doorsand windowsarelockedandnotifyyourrealestateagentyou’ve vacatedtheproperty.

QuestionsToAsk:Whereisthegaragedooropener?Where arethekeystothehouse,mailboxandotherlockablearea? Didyouretrieveallkeysfromneighborsandfriends?

MOVING CHECKLIST
*

THE HOME DEPOT

(800) 466-3337 www.homedepot.com

Beaverton (503) 469-4242

4401 SW 110th Ave. Beaverton, OR 97005

S. Beaverton (503) 646-1525

13700 NW Science Pk. Dr. Portland 97229

Clackamas (503) 774-6372

9300 SE 82nd Ave. Happy Valley, OR 97086

Hillsboro (503) 693-9090

1950 SE Minter Bridge Rd. Hillsboro 97123

Jantzen Beach (503) 289-9200

1728 N Tomahawk Island Dr. Portland 97217

Oregon City (503) 723-3181

2002 Washington St. Oregon City, OR 97045

E. Portland (503) 261-8543

10120 SE Washington St. Portland 97216

NE Portland (503) 252-0188

11633 NE Glen Widing Dr. Portland 97220

Sherwood (503) 925-8447

20260 SW Pacific Hwy. Sherwood, OR 97140

Tigard (503) 639-3500

14800 SW Sequoia Parkway Tigard 97224

MOVING RESOURCES

THE HOME DEPOT CONTINUED

Troutdale (503) 674-3944

25101 SE Stark St. Troutdale, OR 97060

LOWES (800) 466-3337 www.lowes.com

Hillsboro (503) 844-6200

1951 SE 24th Ave. Hillsboro, OR 97123

Milwaukie (503) 794-2500 13631 SE Johnson Rd. Milwaukie 97222

Portland (503) 737-3000 1160 N Hayden Meadows Dr. Portland 97217

Tigard (503) 624-2644 12615 SW 72nd Ave. Tigard, OR 97223

Wood Village (503) 667-1005 1000 NE Wood Village Blvd. Wood Village, OR 97060

DONATION FACILITIES

Goodwill (800) 741-0186 locator.goodwill.org

The Salvation Army (800) 958-7825 www.salvationarmyusa.org

Value Village (800) 958-7825 www.valuevillage.com

MOVING TRUCK RENTALS

Budget (800) 462-8343 www.budgettruck.com

Penske (888) 996-5415 www.pensketruckrental.com

Ryder (800) 297-9337 www.ryder.com

U-Haul (800) 468-4285 www.uhaul.com

STORAGE COMPANIES

NW Self Storage www.nwselfstorage

Public Storage (800) 906-0879 www.publicstorage.com

Pods (888) 309-8967 www.pods.com

TRANSFER STATIONS

Garbage/Recycling

Metro Center (503) 234-3000 www.oregonmetro.gov 6161 NW 61st Ave. Portland, OR 97210

Metro South (503) 234-3000 www.oregonmetro.gov 2001 Washington St. Oregon City, OR 97045

AIRPORT

Portland International Airport (877) 793-4690 www.flypdx.com

AUTO & DRIVER REGISTRATION

DMV (503) 945-5000 www.odot.state.or.us/dmv/

BUS SERVICE

C-Tran (360) 695-0123 www.c-tran.com

Greyhound (800) 231-2222 www.greyhound.com

Tri-Met (503) 238-7433 www.tri-met.org

CABLE TV & INTERNET

Verizon (888) 881-8161 www.verizon.com

XFINITY (Comcast) (800) 934-6489 www.comcast.com

CITY CONTACT

Banks (503) 324-5112 www.cityofbanks.org

Beaverton (503) 526-2222 www.ci.beaverton.or.us

Canby (503) 266-4021 www.ci.canby.or.us

RESOURCE GUIDE

CITY CONTACT CONTINUED

Cornelius (503) 357-9112 www.ci.cornelius.or.us

Damascus (503) 658-8545 www.ci.damascus.or.us

Estacada (503) 630-8270 www.cityofestacada.org

Fairview (503) 665-7929 www.ci.fairview.or.us

Forest Grove (503) 359-3200 www.ci.forest-grove.or.us

Gaston (503) 985-3340

Gladstone (503) 656-5225 www.ci.gladstone.or.us

Gresham (503) 661-3000 www.ci.gresham.or.us

Happy Valley (503) 760-3325 www.ci.happy-valley.or.us

Hillsboro (503) 681-6100 www.hillsboro-oregon.gov

King City (503) 639-4082 www.ci.king-city.or.us

Lake Oswego (503) 635-0270 www.ci.oswego.or.us

Milwaukie (503) 786-7525 www.ci.cityofmilwaukie.org

CITY CONTACT CONTINUED

Molalla (503) 829-6855 www.cityofmolalla.com

North Plains (503) 647-5555 www.northplains.org

Oregon City (503) 657-0891 www.ci.orcity.or.us

Portland (503) 823-4000 www.portlandonline.com River Grove (503) 639-6919 Sandy (503) 668-5533 www.ci.sandy.or.us

Sherwood (503) 625-5522 www.ci.sherwood.or.us

Tigard (503) 639-4171 www.ci.tigard.or.us

Troutdale (503) 665-5175 www.ci.troutdale.or.us

Tualatin (503) 692-2000 www.tualatinoregon.gov

West Linn (503) 657-0331 www.westlinnoregon.gov

Wilsonville (503) 682-1011 www.ci.wilsonville.or.us

Wood Village (503) 667-6211 www.ci.wood-village-or.us

COUNTY CONTACTS

Clackamas (503) 655-8011 www.co.clackamas.or.us Taxation (503) 655-8671

Multnomah (503) 248-3511 www.co.clackamas.or.us Taxation (503) 988-3326

Washington (503) 846-8611 www.co.clackamas.or.us Taxation (503) 846-8741

ELECTRICITY

Pacific Power (888) 221 7070 www.pacificpower.net

Portland General (800) 542-8818 www.portlandgeneral.com

HOSPITALS

Adventist Medical (503) 257-2500 www.adventisthealthnw.com

Doernbecher Children’s Hospital (503) 494-8311 www.ohsu.edu

Legacy Good Samaritan (503) 413-4683 www.legacyhealth.org

Legacy Emanuel (503) 413-2200 www.legacyhealth.org

RESOURCE GUIDE

HOSPITALS CONTINUED

Legacy Meridian Park (503) 692-1212 www.legacyhealth.org

Legacy Mt. Hood (503) 674-1122 www.legacyhealth.org

Kaiser Permanente Sunnyside (503) 813-2000 www.kaiserpermanente.org

Kaiser Permanente Westside (503) 813-2000 www.kaiserpermanente.org

OHSU (503) 494-8311 www.ohsu.edu

Providence Milwaukie (503) 513-8300 www.providence.org

Providence Portland (503) 215-1111 www.providence.org

Providence St. Vincent (503) 216-1234 www.providence.org

Providence Willamette Falls (503) 656-1631 www.providence.org

Shriner’s Hospital (503) 241-5090 www.shrinershq.org

Tuality Community (503) 681-1111 www.tuality.org

Tuality Forest Grove (503) 357-2173 www.tuality.org

NATURAL GAS

NW Natural (800) 422-4012 www.nwnatural.com

NEWSPAPERS

The Columbian (360) 694-3391 www.columbian.com

The Oregonian (503) 221-8240 www.oregonlive.com

Willamette Weekly (503) 243-2122 www.wweek.com

RECREATION

Convention Center (503) 235-7575 www.oregoncc.org

Expo Center (503) 736-5200 www.expocenter.org

Mt. Hood Meadows (503) 337-2222 www.mthoodmeadows.com

OMSI (503) 797-4000 www.omsi.edu

Oregon Zoo (503) 266-1561 www.oregonzoo.com

Portland International Raceway (503) 823-7223 www.portlandraceway.com

Portland Art Museum (503) 266-2811 www.pam.org

RESOURCE GUIDE

RECREATION CONTINUED

Providence Park (503) 553-5400 www.providenceparkpdx.com

Regal Cinemas (800) FANDANGO www.regalcinemas.com

Moda Center (503) 797-9619 www.rosequarter.com

Willamette Jetboat (503) 231-1532 www.willamettejet.com

SHOPPING

Bridgeport Village (503) 968-1704 www.bridgeport-village.com

Cedar Hills Crossing (503) 643-6563 www.cedarhillscrossing.com

Clackamas Town Center (503) 653-6913 www.clackamastowncenter.com

Columbia Gorge Outlets (503) 669-8060 www.premiumoutlets.com/ columbiagorge

Lloyd Center (503) 282-2511 www.lloydcenter.com Mall 205 (503) 255-5805

Pioneer Place (503) 228-5800 www.pioneerplace.com

SHOPPING CONTINUED

Streets of Tanasbourne (503) 533-0561 www.streetsoftanasbourne.com

Washington Square (503) 369-8860 www.shopwashingtonsquare.com

Woodburn Outlets (888) 664-SHOP www.woodburncompanystores.com

TELEPHONE SERVICE

Verizon (800) 483-4100 www.verizon.com

AT&T (800) 288-2020 www.att.com

TRANSFER STATIONS Metro Center (503) 234-3000 www.oregonmetro.gov 6161 NW 61st Ave. Portland, OR

Metro South (503) 234-3000 www.oregonmetro.gov 2001 Washington St. Oregon City, OR

Clackamas County (503) 668-8885 www.wmnorthwest.com 19600 SE Canyon Valley Rd. Sandy, OR

VOTER REGISTRATION

Clackamas (503) 655-8510

Multnomah (503) 248-3720

Washington (503) 846-5800

WATER BUREAU

Beaverton (503) 526-2257

Clackamas (503) 722-9220

Gladstone (503) 656-5223

Gresham (503) 618-2373

Hillsboro (503) 681-6228

Lake Oswego (503) 635-0265

Milwaukie (503) 786-7525

Oregon City (503) 657-8151

Portland (503) 823-7770

Tigard (503) 639-1554

Tualatin (503) 692-2000

West Linn (503) 656-4261

Wilsonville (503) 682-1011

TITLE &

6
ESCROW

CYBER SECURITY

the information without the knowledge of the sender or recipient, resulting in the funds being sent to an outside account and never credited to the intended party.

To protect and reduce your risk, WFG has implemented the following procedures for outgoing and incoming wires:

Outgoing Wire from WFG to seller or borrower for proceeds

In the escrow paperwork provided you will be asked to provide written instructions on how you want funds due you sent to you at the close of escrow. If you choose to have the funds sent via wire transfer, WFG will contact you by phone to confirm the wire information provided.

Incoming Wires from the buyer and/or lender to WFG bank account

For funds that are to be wired to WFG for your transaction, we will send specific wire instructions to the remitting person via an encrypted email. We recommend you reach out to your WFG contact to confirm the wire instructions prior to remittance.

We look forward to processing your escrow transaction for you. We know that this can be a stressful time and we are here to assist you in any way we can to make this a good experience.

http://national.wfgnationaltitle.com/2016/04/05/obsess-cyber-security/

OWNERS TITLE INSURANCE

Why it's important

claims, or restrictions on the buyer’s property, other than the mortgage the buyer agrees to pay.

If the preliminary title search uncovers potential problems, a buyer can require that those problems be satisfactorily dealt with before closing on the home.

In addition, owner’s title insurance protects buyers against a myriad of risks that not even the most careful title search can uncover, including things such forged documents, undisclosed or missing heirs of a previous owner, fraud, will disputes, and unrecorded claims of many types.

Without owner’s title insurance, the legal costs to resolve such title claims could easily be in the tens of thousands of dollars and would have to be paid out of pocket by the buyer - not to mention the stress that such situations would cause to the buyer.

Owner’s title insurance is one of the most affordable insurance policies a person can ever buy. Unlike other forms of insurance, there is only a one-time fee at closing for the policy, which financially protects the buyer’s investment for as long as the buyer or the buyer’s heirs own the home.

So, if someone tells the buyer that owner’s title insurance is “optional”, that certainly does not mean that the buyer should not get it. Virtually every lender requires lender’s title insurance, but that insurance does not protect the buyer.

In order to safeguard the buyer’s investment in the property, which is possibly the most important investment the buyer will ever make, owner’s title insurance is absolutely critical.

WHAT IS ESCROW?

Both the buyer and seller rely on the escrow agent to carry out their written instructions relating to the transaction and to advise them if any of their instructions are not mutually consistent or cannot be carried out. If the instructions from all parties to an escrow are clearly drafted, the escrow officer can proceed on behalf of the buyer and seller without further consultation. This saves much time and facilitates the closing of the transaction.

TYPICAL ROLES IN THE CLOSING PROCESS

The Seller/Agent

Delivers a fully executed Purchase Sale Agreement to the escrow agent. Executes the paperwork necessary to close the transaction.

The Buyer/Agent

Deposits collected funds required to close (in with the escrow agent. Approves the commitment for title insurance, or other items as called for by the Purchase Sale Agreement. Executes the paperwork and loan documents necessary to close the transaction.

The Lender

Deposits loan documents to be executed by the buyer Deposits the loan proceeds. Directs the escrow agent of the conditions under which the loan funds may be used

The Escrow Agent

Clears Title

Obtains title insurance

Obtains payoffs and release documents for underlying loans on the property Receives funds from the buyer and/or lender. Prepares vesting document affidavit on seller’s behalf.

Prorates insurance, taxes, rents, etc. Prepares a final statement (often referred to as the “HUD Statement” or ”Settlement Statement”) for each party, indicating amounts paid in conjunction with the closing of your transaction. Forwards deed to the county for recording. Once the proper documents have been recorded, the escrow agent will distribute funds to the proper parties.

In Summary

Escrow is the process that assembles and processes many of the components of a real estate transaction. The sale is officially closed when the new deed is recorded and funds are available to the seller, thus transferring ownership from the seller to the buyer. The escrow agent is a neutral third party acting on behalf of the buyer and seller.

WHAT IS TITLE?

About Title Insurance

Title is a bundle of rights in real property. Protecting purchasers and lenders against loss is accomplished by the issuance of a title insurance policy. Usually, during a purchase transaction, the lender requests a policy (commonly referred to as the Lender’s Policy) while the buyers receive their own policy (commonly referred to as an Owner's Policy).

In short, the policy states that if the status of the title to a parcel of real property is other than as represented, and if the insured (either the owner or lender) suffers a loss as a result of a title defect, the insurer will reimburse the insured for that loss and any related legal expenses, up to the face amount of the policy, subject to exceptions and exclusions contained in the policy.

Typically there are two policies issued. The Mortgagee’s Policy insures the lender for the amount of the loan. The Owner’s Policy insures the purchaser of the purchase price.

How is title insurance different from other types of insurance?

While the function of most other forms of insurance is risk assumption through the pooling of risks for losses arising out of unforeseen future events (such as sickness or accidents), the primary purpose of title insurance is to eliminate risks and prevent losses caused by defects in title arising out of events that have happened in the past. To achieve this goal, title insurers perform an extensive search and examination of the public records to determine whether there are any adverse claims (title defects) attached to the subject property. Said defects/claims are either eliminated prior to the issuance of a title policy

or their existence is excepted from coverage. Your policy is issued after the closing of your new home, for a one-time nominal fee, and is good for as long as you own the property.

What’s involved in a title search? A title search is actually made up of three separate searches:

Chain of Title – History of the ownership of the subject property

Tax Search – The tax search reveals the status of the taxes and assessments

Judgment and Name Search – Searches for judgment and liens against the owners’ and purchasers’ names

Once the three searches have been completed, the file is reviewed by an examiner who determines:

Whether or not the Chain of Title shows that the party selling the property has the right to do so. The status of taxes for the subject property. The Tax Search will also indicate the existence of any special assessments against the land and whether or not these assessments are current or past due.

Whether there are any unsatisfied judgments on the Judgment and Name Search against the previous owners, sellers, or and purchasers.

Rights established by judgment decrees, unpaid federal income taxes and mechanic liens all may be prior claims on the property, ahead of the buyer’s or lender’s rights. The title search will only uncover defects in title that are of public record, thus allowing the title company to work with the seller to clear up these issues and provide the new buyer with title insurance.

In Summary

After the searches have been examined, the title company will issue a commitment, stating the conditions under which it will insure title. The buyer, seller and the mortgage lender will proceed with the closing of the transaction after clearing up any defects in the title that have been uncovered by the search and examination.

.

WHO PAYS WHAT IN OREGON

SELLER PAYS

BUYER PAYS

TYPICAL COSTS

The following costs generally affect all transactions:

Escrow Fee - one-half of the fee, based on title company’s fee schedule

Recording Fees - based on county fee schedule

Title Premium - based on fixed statewide fee schedule

Real Estate Commission - based on agreement with Broker

Tax Prorate - to apportion taxes between parties as of date of closing

General Costs - as listed for each specific transaction, as requested by principals Release fees for loan payoff(s)

LAND SALE CONTRACT TRANSACTION

Attorney Fee - optional, and is sometimes shared with purchaser

Collection Escrow Setup Fee - optional, and is often shared with purchaser

ASSIGNMENT OF CONTRACT FOR ASSUMPTION OF LOAN TRANSACTION

Any delinquent payments to bring contract or loan current

Prorate share of current month’s interest based on current rate

CONVENTIONAL, FHA, VA LOAN TRANSACTIONS

Any closing cost (not expenses of property or loan interest) negotiated on behalf of the purchaser, subject to lender’s approval

FHA, VA Loans - check with lender for any applicable seller costs

TYPICAL COSTS

The following costs generally affect all transactions:

Escrow Fee - one-half of the fee, based on title company’s fee schedule

Recording Fees - based on county fee schedule

Fire Insurance Premium - mandatory when any lender is involved, including the seller’s lender

Tax Prorate - to apportion taxes between parties as of date of closing

General Costs - as listed for each specific transaction, as requested by the principals

LAND SALE CONTRACT TRANSACTION

Attorney Fee - optional, and is sometimes shared with seller

Collection Escrow Setup Fee - optional, and is sometimes shared with seller

Recording Fee - for contract or memorandum thereof

ASSIGNMENT OF CONTRACT FOR ASSUMPTION OF LOAN TRANSACTION

Assumption or Assignment

Next monthly payment due, if required by lender

Recording Fee - for Assumption/Assignment of Agreement, if required by lender

CONVENTIONAL, FHA, VA LOAN TRANSACTIONS

Lenders title insurance policy & endorsements, as required by lender

Loan Fee - as required by lender

Credit Report Fee - as required by lender

Appraisal Fee - as required by lender

Mortgage Insurance Premium - based on fee schedule and endorsements of lender

Prepaid Interest - if required by lender

VA Loans only - funding fee, if required by lender

FHA, VA, and some Conventional Loans - reserves for real property taxes, fire insurance and mortgage insurance

DISCLAIMER:Thisflyerisnotintendedtobeanall-inclusivelistoffeesandchargesoneverytransaction,butratheraguidetothemajorcostsofbuyingorselling realproperty. WFGwouldbehappytoreviewandexplainyourclosingcostpriortofinalizingthetransactions.

TITLE VESTING

Common ways to hold title to real property

ASANINDIVIDUAL

Anindividualmayholdtitleinhisorhernameonly,regardlessofwhetherornotmarried–e.g.“JaneSmith,an individual”.Thatindividualthenownsallrightstotheproperty,whichcanbesoldortransferredtoothersviawill ortrust.Whileadivorceispending,however,ifthepropertywasacquiredduringthemarriageitwilllikelybe treatedaspartofthemaritalestateandthusbesubjecttocourtauthority.

ASTENANTSBYTHEENTIRETY

Aconveyancetoahusbandandwifecreatesatenancybytheentirety–e.g.“JohnSmithandJaneSmith, husbandandwife,astenantsbytheentirety”.Thiscreatesasurvivorshipestate,whichmeansthatifonespouse dies,his/herinterestwillautomaticallygotothesurvivingspouse.Ahusbandandwifemayalsotaketitleas tenantsincommon(discussedbelow)iftheintentiontoholdtitleinthatmannerisexpresslystated.

ASTENANTSINCOMMON

Unlessaconveyanceexpresslyprovidesthatthepartiesintendtocreateasurvivorshipestate(discussedbelow), aconveyancetotwoormorepersonswhoarenotmarriedcreatesatenancyincommoninwhicheachhas (unlessotherwisestated)anequalundividedinterestintheproperty–e.g.“JohnSmithandRobertJones,as tenantsincommon,eachastoanundivided50%interest”.Eachtenantincommonthenownsanundivided interestintheentireproperty,whichcanbesoldortransferredtoothersviawillortrust.

ASASURVIVORSHIPESTATE

Twoormorepersonswhoarenotmarriedmayalsoholdtitleastenantsincommonwitharightofsurvivorship, aslongasthesurvivorshipdeclarationisexpresslycontainedinthedeed–e.g.“JohnSmithandRobertJones, notastenantsincommon,butwiththerightofsurvivorship”.Thiscreatesasurvivorshipestate,whichmeans thatifonepartydies,his/herinterestwillautomaticallygotothesurvivorandcannotbesoldduringthelifetime ofortransferredviawillortrustbythepartywhodiesfirst

ASREGISTEREDDOMESTICPARTNERS

Registereddomesticpartnersmaytaketitleas(i)tenantsincommon–e.g.“JaneSmithandMaryJones, registereddomesticpartners,astenantsincommon,eachastoanundivided50%interest”,or(ii)ina survivorshipestatesimilartothatofatenancybytheentirety–e.g.“JaneSmithandMaryJones,asregistered domesticpartnerswithrightofsurvivorship”.

ASASAMESEXMARRIEDCOUPLE

Samesexmarriedcouplesmaytaketitleas(i)tenantsincommon–e.g.“JohnSmithandRobertSmith,a marriedcouple,astenantsincommon,eachastoanundivided50%interest”,or(ii)inasurvivorshipestate similartothatofatenancybytheentirety–e.g.JohnSmithandRobertSmith,amarriedcouplewithrightof survivorship,or(iii)astenantsbytheentirety–e.g.“JohnSmithandRobertSmith,amarriedcouple,astenants bytheentirety”.

ASANENTITY

Aregisteredentity,suchasacorporation,limitedliabilitycompanyorpartnership,mayholdtitle.Titleshouldbe heldexactlyasthenameisregisteredwiththeOregonSecretaryofState–e.g.“Smith&Jones,LLC,anOregon limitedliabilitycompany”.

DISCLAIMER–Theforegoingcontainsinformationalexamplesonlyandisnottobeconstruedaslegaladvice.Giventhecomplexitiesinvolvedinacquiringandholding legaltitletorealproperty,WFGstronglyrecommendsthatyouseeklegaladvicefromanattorneypriortodoingso.

WFG OFFICE LOCATIONS

ADMINISTRATIVE

12909 SW 68th Pkwy. Ste. 350 Portland, OR 97223 503-431-8500

CLACKAMAS

9200 SE Sunnybrook Blvd. Ste. 350

Clackamas, OR 97015 503-353-9975

LAKE OSWEGO

5885 Meadows Rd. Ste. 150

Lake Oswego, OR 97035 503-624-4900

LLOYD/COMMERCIAL

700 NE Multnomah St. Ste. 190

Portland, OR 97232 503-230-8488

NW PORTLAND

25 NW 23rd Pl. Ste. 1 Portland, OR 97210 503-219-9088

GRESHAM

1304 NW Civic Drive Gresham, OR 97030 503-512-4910

SUNSET

2430 NW 206th Ave. Ste. 125 Beaverton, OR 97006 503-533-9510

BETHANY

1500 NW Bethany Blvd. Ste. 155 Beaverton, OR 97006 503-850-3990

DOWNTOWN VANCOUVER

101 E 6th St. Ste. 125 Vancouver, WA 98660 360-314-0300

SALMON CREEK

2105 NE 129th St.

Ste. 107 Vancouver, WA 98686 360-314-1818

VANCOUVER MALL

5101 NE 82nd Ave.

Ste. 102 Vancouver, WA 98662 360-891-5454

EAST VANCOUVER

2004 SE 192nd Ave.

Ste. 100 Vancouver, WA 98683 360-356-9990

1 2 3 5 6 7 9 10 11 4 8 12

TABLE OF

Altos Market Report

The information contained is provided by WFG’s Customer Service Department to our customers, and while deemed reliable, is not guaranteed.

WFG's My Home CC&R's (if applicable)
CONTENTS
Your Local Market Report Tigard, OR 97223 REPORT FOR 10/12/2022 Single-Family Homes Presented by WFG National Title Company reports@wfgnationaltitle.com

Market Action

Strong Seller's Market

The market has been cooling over time and prices plateaued for a while. Despite the consistent decrease in MAI, we’re in the Seller’s zone. Watch for changes in MAI. If the MAI resumes its climb, prices will likely follow suit. If the MAI drops consistently or falls into the Buyer’s zone, watch for downward pressure on prices.

Market Segments

Each segment below represents

Median

$960,000

$699,000

$622,500

$536,944

Tigard, OR

Real-Time Market Profile

Median List Price

Median Price of New

Per Square Foot

Days on

Median Days

Decreased

Rent

Strong Seller's Market

Single-Family Homes
97223
$661,000
Listings $582,450
$304 Average
Market 43
on Market 21 Price
46% Price Increased 2% Relisted 15% Inventory 46 Median
$2,573 Market Action 53
Your Local Market Report WFG National Title Company | oregon.wfgnationaltitle.com This week the median list price for Tigard, OR 97223 is $661,000 with the market action index hovering around 53. This is less than last month's market action index of 56. Inventory has increased to 46.
Index This answers “How’s the Market?” by comparing rate of sales versus inventory. Buyer's Market Seller's Market 0 10 20 30 40 50 60 70 80 90 100 Tod a yLastMonth L 53
approximately 25% of the market ordered by price.
Price Sq. Ft. Lot Size Beds Bath Age New Absorbed DOM
3,428 8,000 - 10,000 sqft 5 3 24 1 0 14
2,710 6,500 - 8,000 sqft 4 2.5 27 1 3 42
2,217 6,500 - 8,000 sqft 3 2.5 40 2 1 14
1,475 6,500 - 8,000 sqft 3 2 43 4 4 14 2 of 6 Wed Oct 12 2022 Powered by Altos Research, Inc. | www.altos.re | Copyright © 2022 Altos Research, Inc.

Median List Price

this zip code

have settled around a plateau. Look for a persistent down-shift in the Market Action Index

we see prices

from these levels.

Segments

In the quartile market segments,

7-Day Average 90-Day Average

see prices in this zip code have settled at a price plateau

the board. Prices in all four quartiles are basically mixed. Look for a persistent shift (up or down) in the Market Action Index before prices move from these current levels.

Top 90-Day

90-Day

90-Day

Single-Family Homes Tigard, OR 97223 Your Local Market Report WFG National Title Company | oregon.wfgnationaltitle.com
Prices in
seem to
before
deviate
Oct 2019 Feb 2020 Jun 2020 Oct 2020 Feb 2021 Jun 2021 Oct 2021 Feb 2022 Jun 2022 Oct 2022 $500K $600K $700K $800K $400K
we
across
Upper 90-Day Lower
Bottom
Oct 2019 Feb 2020 Jun 2020 Oct 2020 Feb 2021 Jun 2021 Oct 2021 Feb 2022 Jun 2022 Oct 2022 $400K $600K $800K $1.0M $200K 3 of 6 Wed Oct 12 2022 Powered by Altos Research, Inc. | www.altos.re | Copyright © 2022 Altos Research, Inc.

Tigard,

Price Per Square Foot

market plateau

seen across

price and value. The price per square foot and median list price

both been reasonably stagnant.

Market Action Index for persistent changes as

7-Day Average 90-Day Average

has been climbing lately. Note that rising inventory alone does not signal a weakening market. Look to the Market Action Index and Days on Market trends to gauge whether buyer interest is keeping up with available supply.

7-Day Average 90-Day Average

Single-Family Homes
OR 97223 Your Local Market Report WFG National Title Company | oregon.wfgnationaltitle.com
The
is
the
have
Watch the
a leading indicator before the market moves from these levels.
Oct 2019 Feb 2020 Jun 2020 Oct 2020 Feb 2021 Jun 2021 Oct 2021 Feb 2022 Jun 2022 Oct 2022 $200 $225 $250 $275 $300 $325 $350 $375 $400 Inventory Inventory
Oct 2019 Feb 2020 Jun 2020 Oct 2020 Feb 2021 Jun 2021 Oct 2021 Feb 2022 Jun 2022 Oct 2022 0 10 20 30 40 50 60 4 of 6 Wed Oct 12 2022 Powered by Altos Research, Inc. | www.altos.re | Copyright © 2022 Altos Research, Inc.

Tigard,

Market Action Index

The market has been cooling over time and prices

for a while. Despite the consistent decrease in MAI, we’re in the Seller’s zone. Watch for changes in MAI. If the MAI resumes its climb,

likely follow

the MAI

into the Buyer’s zone,

7-Day Average 90-Day Average

Market Action Segments

Not surprisingly, all segments in this zip code are showing high levels of demand. Watch the quartiles for changes before the whole market changes. Often one end of the market (e.g. the highend) will weaken before the rest of the market and signal a slowdown for the whole group.

Top 90-Day

90-Day

Single-Family Homes
OR 97223 Your Local Market Report WFG National Title Company | oregon.wfgnationaltitle.com
plateaued
prices will
suit. If
drops consistently or falls
watch for downward pressure on prices.
Oct 2019 Feb 2020 Jun 2020 Oct 2020 Feb 2021 Jun 2021 Oct 2021 Feb 2022 Jun 2022 Oct 2022 0 100 25 50 75 125
Upper 90-Day Lower 90-Day Bottom
Oct 2019 Feb 2020 Jun 2020 Oct 2020 Feb 2021 Jun 2021 Oct 2021 Feb 2022 Jun 2022 Oct 2022 20 40 60 80 100 120 5 of 6 Wed Oct 12 2022 Powered by Altos Research, Inc. | www.altos.re | Copyright © 2022 Altos Research, Inc.

Tigard,

Median Days on Market (DOM)

Segments

take longer to sell than those in the

Single-Family Homes
OR 97223 Your Local Market Report WFG National Title Company | oregon.wfgnationaltitle.com
The properties have been on the market for an average of 40 days. Half of the listings have come newly on the market in the past 27 or so days. Watch the 90-day DOM trend for signals of a changing market. 7-Day Average 90-Day Average Oct 2019 Feb 2020 Jun 2020 Oct 2020 Feb 2021 Jun 2021 Oct 2021 Feb 2022 Jun 2022 Oct 2022 0 25 50 75 100 125 150
It is not uncommon for the higher priced homes in an area to
lower quartiles. Top 90-Day Upper 90-Day Lower 90-Day Bottom 90-Day Oct 2019 Feb 2020 Jun 2020 Oct 2020 Feb 2021 Jun 2021 Oct 2021 Feb 2022 Jun 2022 Oct 2022 0 50 100 150 200 250 6 of 6 Wed Oct 12 2022 Powered by Altos Research, Inc. | www.altos.re | Copyright © 2022 Altos Research, Inc.

Instant

MyHome

full

real-time

and post-closing home

is fully responsive, mobile-first and

a secure web

with

up for an account at

Contact

In-depth

Timeline view of

Real-time

Register for MyHome® account

a MyHome® email notification or go directly to https://myhome. wfgtitle.com

a brief registration form.

your email address on file with WFG, and have your escrow number handy.

email for immediate access.

WFG’s
® provides
transparency,
updates,
information in
environment. It
built
YOU in mind. Personalized. Secure. Transparent. SIMPLIFYING YOUR JOURNEY TO A SUCCESSFUL CLOSING •
access to essential file details •
information for all parties involved •
Knowledge Center •
the entire escrow process •
updates via text, email, or personalized dashboard • Explainer videos for each milestone • Access on desktop, tablet or mobile myhome.wfgtitle.com Sign
https://myhome.wfgtitle.com today! Click
on
Complete
Use
Confirm
1 2 3 • Complete forms needed for your transaction • Upload documents to your escrow team REV. 03.2022

Notification sent one day after transaction is marked recorded.

GATHER UP

SIGNING SCHEDULED TRANSACTION CLOSED

CLOSE TO SIGNING

Notification is sent five days after Title is cleared.

Notification is sent after Title Report is completed.

TITLE CLEARED

MIDPOINT FEEDBACK UPDATER INVITATION

TITLE REPORT DELIVERED

Notification is sent after Title Report is completed.

TRANSACTION STARTED

MyHome ® notifications start triggering to the Client once the order has been opened.

Invitation to provide feedback and rate your experience. Sent 3 days after transaction closed.

EARNEST MONEY

Notification is sent to both Buyer and Seller.

Notification is sent once all title curative items are received and ready for closing.

Notification is sent 15 days after Title Report is completed.

Notification is sent when earnest money is received by Escrow.

Contact us to schedule a demo or sign up for an account.          CONSUMER EXPERIENCE TIMELINE All notifications include a link that can be used for registration and access to your MyHome® dashboard post registration.
myhome.wfgtitle.com REV.2.16.2022
Public Record
Public Record
Public Record
Public Record

Turn static files into dynamic content formats.

Create a flipbook
Issuu converts static files into: digital portfolios, online yearbooks, online catalogs, digital photo albums and more. Sign up and create your flipbook.