1S3E12CA Lots 1300 & 1400 Gresham, OR 97080

Page 1

Developers Packet Subject Property 1S3E12CA Tax Lots 1300 & 1400 Gresham, OR 97080 Compliments of WFG Na onal Title Insurance Company Customer Service Department
Table
Contents  Property Details  U li es (Water & Sewer)  Zoning  Custom Maps  Miscellaneous Items ‐Demographics ‐Traffic Counts The informa on contained is provided by WFG’s Customer Service Department as a courtesy to our customers, and while deemed reliable, is not guaranteed.
of

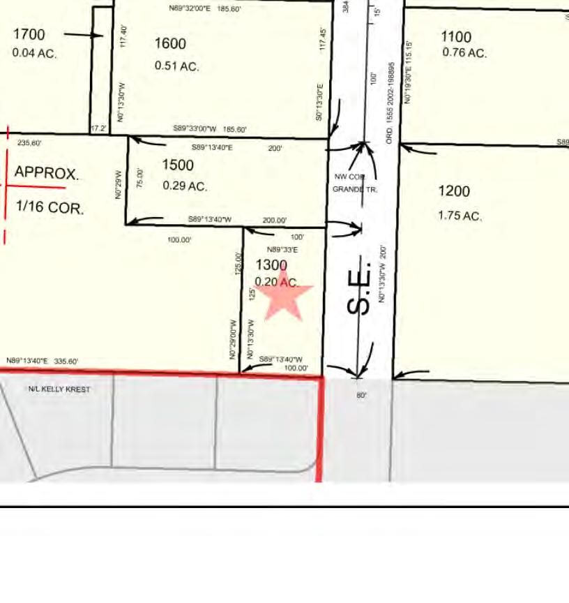
Property Details

 Property Tax Informa on  Assessors Tax Map  Ves ng Deed

PropertyDetailReport

Owner:Bobby&HildegardDeWhitt

Site:425SEWilliamsRdGreshamOR97080

Mail:425SEWilliamsRdGreshamOR97080

PropertyCharacteristics

SentryDynamics,Inc.anditscustomersmakenorepresentation,warrantiesorconditions,expressorimplied, astotheaccuracyorcompletenessofinformationcontainedinthisreport.

LocationandSiteInformation County: Multnomah LotSqFt: 8,712 LegalDescription: SECTION121S3E,TL13000.20ACRES LotAcres: 0.20 APN: R339579 LandUse: 101-Single-Family,Residential,Improved TaxLot: 1S3E12CA01300 LandUseSTD: SingleFamilyResidence Twn-Rng-Sec: 01S/03E/12/SW CountyBldgUse: RSFR-ResidentialImproved Neighborhood: PowellValley #Dwellings: Subdivision: MapPage/Grid: 629-G3 LegalLot/Block: Zoning: Gresham-LDR-5 CensusTract/Block: 010407/
Watershed: LowerSandyRiver ElementarySchool: POWELL
L HighSchool: SAMBARLOWHIGHSCHOOL MiddleSchool: GORDONRUSSELL
SchoolDistrict: Gresham-Barlow
1014
VALLEYELEMENTARYSCHOO
MIDDLESCHOOL
TotalLivingArea: 600 Bedrooms: 1 YearBuilt/Eff: 1924(1924) FirstFloorSqFt: 600 BathroomsTotal: 1 Heating: SecondFloorSqFt: BathroomsFull/Half: 1/0 Cooling: BasementFin/Unfin: Stories: 1 Fireplace: 1 AtticFin/Unfin: 0/300 Foundation: Wood Pool: GarageSqFt: 560 RoofMaterial: Composition Kitchen: 1 AssessmentandTaxInformation MarketTotal: $260,260.00 PropertyTax: $2,120.33 MarketLand: $177,500.00 Exemption: $24,060.00 MarketStructure: $106,120.00 MarketImproved%: 41.00% AsssessmentYear: 2021 LevyCode: 026 AssessedTotal: $112,030.00 MillRate: 18.9265 SaleandLoanInformation SaleDate: Lender: SaleAmount: LoanAmount: $0.00 Document#: LoanType: DeedType: Deed Price/SqFt: $0.00 TitleCo: SellerName: PreparedBy:WFGNationalTitleCustomerServiceDepartment 12909SW68thPkwy,Suite350,Portland,OR97223 P:5036031700|3608915474E:cs@wfgnationaltitle.com|cccs@wfgtitle.com

REAL PROPERTY TAX STATEMENT

Multnomah County Oregon ∗ PO Box 2716 ∗ Portland, OR 97208-2716

PROPERTY DESCRIPTION

SITUS: 425 SE WILLIAMS RD

Phone: 503-988-3326 www.multcotax.org

CODE AREA: 026

SECTION 12 1S 3E, TL 1300 0.20 ACRES

ACCOUNT NO: R339579

DE WHITT,BOBBY J & DE WHITT,HILDEGARD B 425 SE WILLIAMS RD

GRESHAM OR 97080-1907

VALUES:

LAST YEAR THIS YEAR

2022-23 CURRENT TAX BY DISTRICT: 2022-23 TAX (Before Discount)

PROPERTY TAXES: $2,120.33$2,175.13

Please read the enclosed Tax Statement Guide. To request paperless billing or to pay online go to multcotax.org

TAX PAYMENT OPTIONS

(See back of statement for payment instructions)

PLEASE MAKE PAYMENT TO: Multnomah County

PLEASE DETACH STUB AND RETURN WITH PAYMENT. RETAIN TOP PORTION FOR YOUR RECORDS. OREGON

7/1/22 TO 6/30/23
$2,175.13 GRESHAM-BARLOW SCHL
#10 522.35 MT HOOD COMMUNITY COLLEGE 54.12 MULTNOMAH ESD 50.37 EDUCATION TAXES: $626.84 CITY OF GRESHAM 397.65 EAST MULT SOIL & WATER CD-GOV 11.01 METRO 10.64 METRO LOC OPT 11.08 MULT CO HIST SOCIETY LOC OPT 5.77 MULTNOMAH COUNTY 478.05 MULTNOMAH COUNTY LIBRARY 134.28 PORT OF PORTLAND 7.72 URBAN RENEWAL - GRESHAM 55.34 GENERAL GOVERNMENT TAXES: $1,111.54 GRESHAM-BARLOW SD #10 BONDS 325.42 METRO BONDS 43.10 MULTNOMAH COUNTY BONDS 68.23 BONDS AND MISC TAXES: $436.75 TOTAL (After Discount): DELINQUENT TAXES: $0.00 $2,109.88
DIST
MARKET VALUES: LAND 177,500 197,500 STRUCTURE 106,120 116,040 VETERAN EXEMPTION 23,360 24,060 NET RMV 260,260 289,480 TAXABLE VALUES: ASSESSED VALUE 135,390 139,450 VETERAN EXEMPTION 23,360 24,060 NET ASSESSED VALUE 112,030 115,390
In Full 2/3 1/3 Pay ByDiscount 11/15/22 11/15/22 11/15/22 65.25 29.00 NONE Net Amount Due $2,109.88 $1,421.09 $725.05
TAX
July 1, 2022 to June 30, 2023
County Property Taxes Property Address
NOT WRITE IN SPACE BELOW 425 SE WILLIAMS RD GRESHAM, OR 97080
PAYMENTS
Tax Collector, Multnomah County Payment Options: Code Area Account Number Net Amount Amount Paid 026 R339579 $2,109.88 DE WHITT,BOBBY J & DE WHITT,HILDEGARD B 425 SE WILLIAMS RD GRESHAM OR 97080-1907
MAILING ADDRESS CHANGES IN AREA BELOW 0001339579 0000072505 0000142109 0000210988 07 Pay Online 7958 IN FULL 11/15/22 Discount is lost and interest applied after due date 1/3 2/3 11/15/22 11/15/22 $725.05 $1,421.09
PROPERTY
YEAR
Multnomah
DO
PLEASE MAKE
TO:
WRITE

ParcelID:R339579

SiteAddress:425SEWilliamsRd

SentryDynamics,Inc.anditscustomersmakenorepresentations, warrantiesorconditions,expressorimplied,astotheaccuracyor completenessofinformationcontainedinthisreport.

AssessorMap

SentryDynamics,Inc.anditscustomersmakenorepresentations, warrantiesorconditions,expressorimplied,astotheaccuracyor completenessofinformationcontainedinthisreport.

AerialMap
ParcelID:R339579

PropertyDetailReport

Owner:BobbyDeWhitt

Site:425W/SEWilliamsRdGreshamOR97080

Mail:425SEWilliamsRdGreshamOR97080

PropertyCharacteristics

SentryDynamics,Inc.anditscustomersmakenorepresentation,warrantiesorconditions,expressorimplied, astotheaccuracyorcompletenessofinformationcontainedinthisreport.

LocationandSiteInformation County: Multnomah LotSqFt: 59,677 LegalDescription: SECTION121S3E,TL14001.37ACRES LotAcres: 1.37 APN: R339654 LandUse: 100-Residential,Unimproved TaxLot: 1S3E12CA01400 LandUseSTD: SingleFamilyResidence
01S/03E/12/SW CountyBldgUse: RSFR-VacantLand
#Dwellings: Subdivision: Map
Lot/Block: Zoning:
Watershed:
L
Middle
School
Twn-Rng-Sec:
Neighborhood: PowellValley
Page/Grid: 629-G3 Legal
Gresham-LDR-7 CensusTract/Block: 010407/1014
LowerSandyRiver ElementarySchool: POWELLVALLEYELEMENTARYSCHOO
HighSchool: SAMBARLOWHIGHSCHOOL
School: GORDONRUSSELLMIDDLESCHOOL
District: Gresham-Barlow
TotalLivingArea: Bedrooms: YearBuilt/Eff: FirstFloorSqFt: BathroomsTotal: Heating: SecondFloorSqFt: BathroomsFull/Half: Cooling: BasementFin/Unfin: Stories: Fireplace: AtticFin/Unfin: Foundation: Pool: GarageSqFt: RoofMaterial:
AssessmentandTaxInformation MarketTotal: $59,680.00 PropertyTax: $991.56 MarketLand: $59,680.00 Exemption: MarketStructure: MarketImproved%: AsssessmentYear: 2021 LevyCode: 026 AssessedTotal: $52,390.00 MillRate: 18.9265 SaleandLoanInformation SaleDate: 04/27/2018 Lender: *OTHERINSTITUTIONALLENDERS SaleAmount: $500,000.00 LoanAmount: $450,500.00 Document#: 44692 LoanType: DeedType: Deed Price/SqFt: $0.00 TitleCo: 1STAMERICAN SellerName: VANTAGEHOMESLLC PreparedBy:WFGNationalTitleCustomerServiceDepartment 12909SW68thPkwy,Suite350,Portland,OR97223 P:5036031700|3608915474E:cs@wfgnationaltitle.com|cccs@wfgtitle.com
Kitchen: 0

REAL PROPERTY TAX STATEMENT

Multnomah County Oregon ∗ PO Box 2716 ∗ Portland, OR 97208-2716 Phone: 503-988-3326 www.multcotax.org

PROPERTY DESCRIPTION

SITUS: 425 W/ SE WILLIAMS RD SECTION 12 1S 3E, TL 1400 1.37 ACRES

VALUES: LAST YEAR THIS YEAR

ACCOUNT NO: R339654

PROPERTY TAXES: $991.56$1,017.16

Please read the enclosed Tax Statement Guide. To request paperless billing or to pay online go to multcotax.org

TAX PAYMENT OPTIONS

(See back of statement for payment instructions) PLEASE MAKE PAYMENT TO:

PLEASE DETACH STUB AND RETURN WITH PAYMENT. RETAIN TOP PORTION FOR YOUR RECORDS.

7/1/22 TO
6/30/23
DE WHITT,BOBBY J ET AL 425 SE WILLIAMS RD GRESHAM OR 97080-1907
2022-23 TAX (Before Discount) $1,017.16 GRESHAM-BARLOW SCHL DIST #10 244.27 MT HOOD COMMUNITY COLLEGE 25.31 MULTNOMAH ESD 23.55 EDUCATION TAXES: $293.13 CITY OF GRESHAM 185.95 EAST MULT SOIL & WATER CD-GOV 5.15 METRO 4.98 METRO LOC OPT 5.18 MULT CO HIST SOCIETY LOC OPT 2.70 MULTNOMAH COUNTY 223.55 MULTNOMAH COUNTY LIBRARY 62.79 PORT OF PORTLAND 3.61 URBAN RENEWAL - GRESHAM 25.88 GENERAL GOVERNMENT TAXES: $519.79 GRESHAM-BARLOW SD #10 BONDS 152.18 METRO BONDS 20.15 MULTNOMAH COUNTY BONDS 31.91 BONDS AND MISC TAXES: $204.24 TOTAL
Discount): DELINQUENT TAXES: $0.00 $986.65
CODE AREA: 026 2022-23 CURRENT TAX BY DISTRICT:
(After
MARKET VALUES: LAND 59,680 59,680 STRUCTURE 0 0 NET RMV 59,680 59,680 TAXABLE VALUES: NET ASSESSED VALUE 52,390 53,960
Multnomah
In Full 2/3 1/3 Pay ByDiscount 11/15/22 11/15/22 11/15/22 30.51 13.56 NONE Net Amount Due $986.65 $664.55 $339.06
County
TAX
July 1, 2022 to June 30, 2023 Multnomah County Property Taxes Property Address
NOT WRITE IN SPACE BELOW 425 W/ SE WILLIAMS RD GRESHAM, OR 97080
PAYMENTS
Tax Collector, Multnomah County Payment Options: Code Area Account Number Net Amount Amount Paid 026 R339654 $986.65 DE WHITT,BOBBY J ET AL 425 SE WILLIAMS RD GRESHAM OR 97080-1907 WRITE MAILING ADDRESS CHANGES IN AREA BELOW 0001339654 0000033906 0000066455 0000098665 00 Pay Online 10492 IN FULL 11/15/22 Discount is lost and interest applied after due date 1/3 2/3 11/15/22 11/15/22 $339.06 $664.55
OREGON PROPERTY
YEAR
DO
PLEASE MAKE
TO:

SentryDynamics,Inc.anditscustomersmakenorepresentations, warrantiesorconditions,expressorimplied,astotheaccuracyor completenessofinformationcontainedinthisreport.

AerialMap
ParcelID:R339654

U lity As‐Builts

 Water As‐Built Maps

City of Gresham

 Sewer As‐Built Maps

City of Gresham

GreshamGIS Map

Gresham GIS Water Mains Rockwood Water Boundary October 18, 2022 0 0.03 0.06 0.015 mi 0 0.045 0.09 0.0225 km 1:1,200 Disclaimer:The City of Gresham Land Information has been gathered from a variety of sources. The information contained herein is subject to change at any time and without notice.

GreshamGIS Map

Gresham GIS Manholes WasteWater Mains Main, Gresham Owner Main, Other Jurisdictions Main, Private Owner Forced Main, Gresham Owned Forced Main, Other Jurisdictions Forced Main, Private Owner Abandoned, All Owners October 18, 2022 0 0.03 0.06 0.015 mi 0 0.045 0.09 0.0225 km 1:1,200 Disclaimer:The City of Gresham Land Information has been gathered from a variety of sources. The information contained herein is subject to change at any time and without notice.

Zoning

 Detailed Zoning Informa on LDR‐5 (Low Density Residen al‐5)

LDR‐7 (Low Density Residen al‐7)

 Zoning Map

 Community Jurisdic on

ARTICLE 4 LAND USE DISTRICTS AND PLAN DISTRICTS

SECTION 4.0100 RESIDENTIAL LAND USE DISTRICTS

[4.01]-1 City of Gresham Development Code (10/16)
General 4.0101 Purpose Land Use District Characteristics 4.0110 Low Density Residential-5 (LDR-5) 4.0111 Low Density Residential-7 (LDR-7) 4.0112 Transit Low Density Residential (TLDR) 4.0113 Transition Residential (TR) 4.0114 Moderate Density Residential-12 (MDR-12) 4.0115 Moderate Density Residential-24 (MDR-24) 4.0116 Office / Residential (OFR) Permitted Uses 4.0120 Permitted Uses Land Use District Standards 4.0130 Residential Land Use District Standards 4.0131 Additional Standards for the LDR-5 and LDR-7 Districts 4.0132 Additional Standards for the LDR-5, LDR-7, TR and TLDR Districts 4.0133 Single-Family Attached Dwelling Standards for Phasing and Design Review 4.0134 Standards for Residential Districts Other than LDR-5, LDR-7, TLDR and TR 4.0135 Single Family and Duplex Construction on a Lot 4.0136 Manufactured Dwelling Requirements 4.0137 Accessory Dwellings 4.0138 Residential Compatibility Standards for LDR-5, LDR-7, TLDR and TR 4.0139 Large Lot Subdivision Option for LDR-5 and LDR-7 4.0140 Solar Energy Standards for Residential Districts 4.0141 Wind Energy Standards for Residential Districts 4.0142 Biomass Energy Standards for Residential Districts 4.0143 Geothermal Energy Standards for Residential Districts 4.0144 Micro-Hydro Energy Standards for Residential Districts 4.0150 Poultry, Livestock and Beekeeping

General

4.0101 Purpose

Development on lands designated Low Density Residential-5, Low Density Residential-7 Transit Low Density Residential, Transition Residential, Moderate Density Residential-12, Moderate Density Residential-24, and Office / Residential is permitted when consistent with the provisions of this section and all other applicable requirements of the Community Development Plan.

Some non-residential uses may also be permitted within some of these districts. Areas of the city determined appropriate for the following Residential Land Use District developments are identified on the Community Development Plan Map.

Development of land in the following Residential Land Use Districts is permitted when development proposals are found to comply with the standards of this section and other relevant supplementary requirements of this ordinance.

Land Use District Characteristics

4.0110 Low Density Residential-5 (LDR-5)

The Low Density Residential-5 District is primarily intended for single-family detached dwellings and manufactured homes at a maximum net density of 8.71 units per acre. For all subdivisions, and for those partitions of parent parcels greater than 20,000 square feet, a minimum net density of 6.22 units per acre is required.

4.0111 Low Density Residential-7 (LDR-7)

The Low Density Residential-7 District is primarily intended for single-family detached dwellings and manufactured homes at a maximum net density of 6.22 units per acre. For all subdivisions, and for those partitions of parent parcels greater than 20,000 square feet, a minimum net density of 4.35 units per acre is required.

4.0112 Transit Low-Density Residential (TLDR)

The Transit Low Density Residential District designation is applied primarily to existing low-density residential neighborhoods within close proximity of light rail and/or bus transit service and is intended for single family detached and attached dwellings, manufactured homes, and duplexes at a maximum net density of 20 units per acre. For all subdivisions, and for those partitions of parent parcels greater than 13,000 square feet, a minimum net density of 10 units per acre is required. This district is intended to continue as a lower-density neighborhood, with detached single-family housing on small lots. Manufactured dwelling parks are allowed at a maximum net density of 14 units per acre and a minimum net density of 7 units per acre.

City of Gresham Development Code
[4.01]-2
(10/16)

4.0113 Transition Residential (TR)

The Transition Residential District designation is intended for a mix of single-family detached, singlefamily attached and duplex housing. It is applied primarily to locations between more intense land use districts (such as those that allow multi-family residential and commercial uses) and less intense land use districts such as LDR-5 and LDR-7. TR provides a transition between these intensities while providing for a variety of housing types. The residential net density is 6.22 to 14.52 or 18.15 units per acre, depending on site size

4.0114 Moderate Density Residential-12 (MDR-12)

The Moderate Density Residential District-12 is primarily intended for attached housing at a maximum net density of 12.1 units per acre and manufactured dwelling parks at a maximum net density of 8.71 units per acre. Manufactured dwelling parks shall be designed in conformance with standards and procedures of the Oregon Department of Consumer and Business Services, Building Codes Division as contained in Oregon Administrative Rules Chapter 918 Div. 600. Where standards of OAR 918-600 conflict with the following standards, the more restrictive standard shall apply.

4.0115 Moderate Density Residential-24 (MDR-24)

The Moderate Density Residential District-24 is primarily intended for attached housing at a maximum net density of 24.2 units per acre and a minimum net density of 12.1 units per acre. Some non-residential uses may also be permitted within this district.

4.0116 Office/Residential District (OFR)

The Office/Residential District is primarily intended for business offices, professional clinics and attached housing at a minimum net density of 8.71 units per acre and a maximum net density of 12.1 units per acre.

Permitted Uses

4.0120 Permitted Uses

Table 4.0120 lists those uses that are permitted in each Residential Land Use District.

• P = Permitted use

• L = Use is permitted, but is limited in the extent to which it may be permitted

• NP = Use not permitted

• SUR = Use permitted subject to a Special Use Review

Each of these uses must comply with the land use district standards of Section 4.0130-4.0138 and all other applicable requirements of the Community Development Code.

City of Gresham Development Code (10/16)
[4.01]-3

Table 4.0120: Permitted Uses in the Residential Land Use Districts

City of Gresham Development Code (10/16)
[4.01]-4
USES LDR-5 LDR-7 TLDR TR MDR-12 MDR-24 OFR RESIDENTIAL Single-Family Detached Dwelling P P P P L1 NP L1 Duplex L2 L2 P L3 P P P Single-Family Attached Dwellings NP NP P P P P P Attached Dwellings on a Single Lot NP NP NP NP P P P Elderly Housing7 NP NP NP NP SUR SUR SUR Manufactured Dwelling Park NP NP P NP P NP NP Residential Facility NP NP NP NP P P P Residential Home P P P P L1 NP L1 COMMERCIAL Auto-Dependent Use NP NP NP NP NP NP NP Business and Retail Service and Trade NP NP NP NP NP NP L4 Clinics NP NP NP NP NP NP P Commercial Parking NP NP NP NP NP SUR SUR Daycare Facilities SUR SUR SUR SUR SUR SUR SUR Live-Work NP NP NP NP NP NP NP Major Event Entertainment NP NP NP NP NP NP SUR Mini-Storage Facilities NP NP NP NP NP NP NP Outdoor Commercial NP NP NP NP NP NP NP INDUSTRIAL Construction NP NP NP NP NP NP NP Exclusive Heavy Industrial Uses NP NP NP NP NP NP NP Industrial Office NP NP NP NP NP NP NP Information Services NP NP NP NP NP NP NP Manufacturing NP NP NP NP NP NP NP Miscellaneous Industrial NP NP NP NP NP NP NP Trade Schools NP NP NP NP NP NP NP Transportation/Distribution NP NP NP NP NP NP NP Warehousing/Storage NP NP NP NP NP NP NP Waste Management NP NP NP NP NP NP NP Wholesale Trade NP NP NP NP NP NP NP INSTITUTIONAL USES Civic Uses SUR SUR SUR SUR SUR SUR SUR Community Services SUR SUR SUR SUR SUR SUR SUR Medical NP NP SUR SUR SUR SUR SUR Parks, Open Spaces, and Trails SUR SUR SUR SUR SUR SUR SUR Religious Institutions SUR SUR SUR SUR SUR SUR SUR Schools SUR SUR SUR SUR SUR SUR SUR

Notes

1 Permitted on a lot of record only.

2 See Section 4.0131

3 Duplexes are allowed only on corner lots. Each unit of the duplex must have its address and main entry door oriented toward a separate street frontage. Conversion of an existing house may provide one main entrance with internal access to both units.

4 Limited Business and Retail Service and Trade when found to be consistent with the requirements of Section 4.0134

5 Electrical Generating Facilities are not permitted on residentially designated land.

6 Permitted as an accessory use to Medical and Civic Uses through the Special Use Review process.

7 May have locational limitations, see Section 8.0114.

8 See Section 10.0900 for additional standards that apply

9 For limitations, see Section 4.0140 Solar Energy System Standards for Residential Districts.

10 For limitations, see Section 4.0141 Wind Energy System Standards for Residential Districts

11 For limitations, see Section 4.0142 Biomass Energy System Standards for Residential Districts.

12 For limitations, see Section 4.0143 Geothermal Energy System Standards for Residential Districts.

13 For limitations, see Section 4.0144 Micro-Hydro Energy System Standards for Residential Districts.

Land Use District Standards

4.0130 Residential Land Use District Standards

The development standards listed in Table 4.0130 are applicable to all development within the Residential Land Use Districts. Development within these districts shall also be consistent with all other applicable requirements of the Community Development Code.

For purposes of Table 4.0130 and Table 4.0130(E), Residential Homes are treated like Detached Dwellings on a single lot; Residential Facilities and Elderly Housing are treated like Attached Dwellings on a Single Lot.

City of Gresham Development Code (10/16) USES LDR-5 LDR-7 TLDR TR MDR-12 MDR-24 OFR RENEWABLE ENERGY8 Solar Energy Systems L9 L9 L9 L9 L/SUR9 L/SUR9 L/SUR9 Wind Energy Systems L10 L10 L10 L10 L10 L10 L10 Biomass Energy Systems L/SUR11 L/SUR11 L/SUR11 L/SUR11 L11 L11 L11 Geothermal Energy Systems L12 L12 L12 L12 L/SUR12 L/SUR12 L/SUR12 Micro-Hydro Energy Systems L13 L13 L13 L13 L13 L13 L13 OTHER Basic Utilities Minor basic utilities Major basic utilities P L/SUR5 P L/SUR5 P L/SUR5 P L/SUR5 P L/SUR5 P L/SUR5 P L/SUR5 Heliports6 NP NP NP NP NP NP NP Wireless Communications Facilities SUR SUR SUR SUR SUR SUR SUR Temporary, Intermittent & Interim Uses P P P P P P P Marijuana Businesses NP NP NP NP NP NP NP
[4.01]-5

Table 4.0130: Development Requirements For Residential Land Use Districts

[4.01 ]6 C ity of Gresham Development Code ( 10/16 )
LDR-51,2 LDR-71,2 TLDR TR MDR-12 MDR-24 OFR A. Minimum Site Size None None None, except 20,000 square feet for manufactured dwelling park13 None Attached dwellings: 7,200 square feet Manufactured dwelling parks: 20,000 square ft. 11,000 square feet 7,200 square feet B. Minimum Lot Size: Detached dwelling unit manufactured home: 5,000 square feet 7,000 square feet None 4,000 square feet Not Applicable Not Applicable Not Applicable Single family attached dwellings: Not Applicable Not Applicable None 2,400 square feet 3,600 square feet No minimum lot size 3,600 square feet Duplexes: Not Applicable Not Applicable None 7,000 square feet 7,200 square feet 3,600 square feet 7,200 square feet C. Density: 1. Minimum Net Density (See definition of Net Density In Article 3) 6.22 units per acre14 4.35 units per acre14 10 units per acre 14 Manufactured dwelling park: 7 units per acre 6.22 units per acre14 Attached dwellings: 8.71 units per acre4 Manufactured dwelling park: 3.78 units per acre 12.1 units per acre5 8.71 units per acre 2. Maximum Net Density 8.71 units per acre Also See Section 4.0131(A) 6.22 units per acre Also See Section 4.0131(A) 20 units per acre Manufactured dwelling park: 14 units per net acre Sites less than 1.5 acres: 18.15 units per acre Sites greater than 1.5 acres: 14.52 units per acre Attached dwellings: 12.1 units per acre Manufactured dwelling park: 8.71 units per acre 24.2 units per acre Also See Section 4.0134(D) 12.1 units per acre

D. Minimum Lot Dimensions:

1. Width at building line

a. Interior lot

b. Corner lot

Single Family detached:

(1a) 35 feet

(1b) 40 feet

2. Depth

a. Interior lot

b. Corner lot

(2a) 70 feet

(2b) 70 feet

E. Minimum Yard Setback See Table 4.0130(E). See Section 4.0138 for infill setback standards.

Single Family detached:

(1a) 40 feet

(1b) 40 feet

(2a) 70 feet

(2b) 70 feet

None, except singlefamily attached shall be as per MDR-24 single-family attached

Single Family detached and Duplex:

(1a) 35 feet

(1b) 40 feet

(2a) 70 feet

(2b) 70 feet; Single Family Attached:

(1a) 16 feet7

(1b) Corner lot8

(2) 0 feet

All uses except Single-family and Duplex:

(1a) 65 feet

(1b) 70 feet

(2a) 90 feet

(2b) 100 feet.

Single Family Attached Dwellings and Duplex:

(1a) 16 feet7

(1b) Corner lot8

(2) 0 feet

All uses except Single-family and Duplex:

(1a) 60 feet

(1b) 70 feet

(2) 100 feet

Single Family Attached Dwellings and Duplex:

(1a) 16 feet7

(1b) Corner lot8

(2) 0 feet

(1a) 60 feet

(1b) 70 feet(2) 100 feet

See Table 4.0130(E). See Section 4.0138 for infill setback standards.

See Table 4.0130(E) See Section 4.0138 for infill setback standards.

See Table 4.0130(E). See Section 4.0138 for infill setback standards.

See Table 4.0130(E) See Table 4.0130(E) See Table 4.0130(E)

[4.01 ]7 C ity of Gresham Development Code ( 10/16 )

F. Maximum Building Height 35 feet. See Section 10.1100 for shoreline height standards. See Section 4.0138 for infill height standards.

G. Height Transition See Section 9.0600 for applicability.

H. Minimum Street Frontage9 35 feet. Corner lots: 40 feet 3

35 feet. See Section 4.0138 for infill height standards.

35 feet. See Section 4.0138 for infill height standards.

35 feet. See Section 4.0138 for infill height standards.

35 feet.

Single family attached dwellings: 35 feet.

Other attached dwellings: 3 stories or 40 feet. Also see Sec. 4.0134(A).

35 feet. See Section 4.0134(C).

See Section 9.0600 for applicability.

See Section 9.0600 for applicability. See Section 9.0600 for applicability.

See Section 9.0600 for applicability. See Section 9.0600 for applicability.

40 feet. See Table Note 11. See Table Note 11. 45 feet, except: Single family attached dwellings: 16 feet

Single-family attached on a corner lot: varies depending on access.3

Attached dwellings on a single lot: 45 feet.

Attached dwelling units on a single lot: 45 feet

Single-family attached dwellings: 16 feet.

Single family attached on a corner lot: varies depending on access3

See Section 9.0600 for applicability.

Not Applicable, except: Single family attached dwellings: 16 feet. Single family attached on a corner lot: varies depending on access3

[4.01 ]8 C ity of Gresham Development Code ( 10/16 )
4.0132(F)
Section 4.0132(F)
Section 4.0132(F)
Section 4.0132(F)
Section 4.0134(F) See Section 4.0134(F)
4.0134(F) J.
Not Applicable Not Applicable Not Applicable Not Applicable Not Applicable
I. Public Facilities. Site and Supplementary Requirements See Section
See
See
See
See
See Section
Commercial Development Not Applicable
See Section 4.0134(B)

Table 4.0130 Notes:

1 Refer to Section 4.0131(D)

2 Refer to Section 4.0132(C).

3 As measured from the corner radius end point to the property corner 25 feet if there is an alley or shared access and 32 feet if there is no alley or shared access.

4 This does not apply to lots of record less than 7,200 square feet.

5 This does not apply to lots of record less than 11,000 square feet in size.

6 This does not apply to lots of record less than 20,000 square feet in size.

7 Single family attached dwelling lots of less than 22 feet width shall take access from an alley or from a shared access.

8 Abuts an alley = 16 feet; shared access = 25 feet; no alley or shared access = 42 feet

9 A reduction in the minimum street frontage may be approved when the applicant can document compliance with Section 10.1520 of the Community Development Code.

10 Parking stalls, aisles and maneuvering areas not allowed in setbacks.

11 All permitted uses except single family attached dwellings: 35 feet, except corner lots shall be 40 feet as measured from the corner radius end point to the property corner. Single family attached dwellings: 16 feet, except corner lots shall be 25 feet as measured from the corner radius end point to the property corner if there is an alley or shared access, and 32 feet from the corner radius end point to the property corner if there is no alley or shared access. A reduction in the minimum street frontage may be approved when the applicant can document compliance with Section 10.1520 of the Community Development Code.

12 For manufactured dwelling parks this provision is replaced by the requirements of Section 7.0211

13 The minimum site size standard of Table 4.0130 shall be satisfied prior to issuance of a development permit for manufactured dwelling parks.

14 The minimum density standards do not apply to the partition of parent parcels of 20,000 net square feet or less in LDR-5, LDR-7 and TR Districts and the partition of parent parcels of 13,000 net square feet or less in the TLDR District.

[4.01 ]9 C ity of Gresham Development Code ( 10/16 ) K. Limited Retail Trade, Retail Not Applicable Not Applicable Not Applicable Not Applicable Not Applicable Not Applicable See Section 4.0134(B) M. Off Street Parking See Section 9.0800 See Section 9.0800 See Section 9.080012 See Section 9.0800 See Section 9.0800 See Section 9.0800 See Section 9.0800 N. Safe Neighborhood Design Performance Standards See Section 4.0132(D) See Section 4.0132(D) See Section 4.0132(D) 12 See Section 4.0132(D) Applicable for single family attached units Applicable for single family attached units Applicable for single family attached units O. Buffers See Buffer Matrix, Section 9.0100 See Buffer Matrix, Section 9.0100 See Buffer Matrix, Sec. 9.010012 See Buffer Matrix, Section 9.0100 See Buffer Matrix, Section 9.0100 See Buffer Matrix, Section 9.0100 See Buffer Matrix, Section 9.0100 P. Infill Development Standards See Section 4.0138 See Section 4.0138 See Section 4.0138 See Section 4.0138 Not Applicable Not Applicable Not Applicable

Table 4.0130(E) - Minimum Setbacks in Residential Districts7

[4.01 ]10 C ity of Gresham Development Code ( 10/16 )
FRONT SIDE REAR Front Facade/ Wall Front Porch Garage Interior Side (Not Zero or Common Wall) Zero Lot Line Option Street Side Wall Street Side Porch Street Side Garage Access Rear/ No Alley Rear/ With Alley Single Family Detached:[6] [10] LDR-51 10 feet 6 feet 20 feet 5 feet 6 inches on zero/ 6 feet on other side8 10 feet 6 feet 20 feet 15 feet 6 feet LDR-71 10 feet 6 feet 20 feet 5 feet 6 inches on zero/ 6 feet on other side8 10 feet 6 feet 20 feet 15 feet 6 feet TLDR1 10 feet 6 feet 20 feet 5 feet 6 inches on zero/ 6 feet on other side8 10 feet 6 feet 20 feet 15 feet 6 feet TR1 10 feet 6 feet 20 feet 5 feet 6 inches on zero/ 6 feet on other side8 10 feet 6 feet 20 feet 15 feet 6 feet MDR-12 10 feet 10 feet 20 feet 10 feet NA 20 feet 20 feet 20 feet 15 feet NA OFR 10 feet 10 feet 20 feet 10 feet NA 20 feet 20 feet 20 feet 15 feet NA Single Family Attached: 2, 3, 6 TLDR 10 feet 6 feet 20 feet 5 feet NA 6 feet 6 feet 20 feet 10 feet 6 feet TR 10 feet 6 feet 20 feet 5 feet NA 6 feet 6 feet 20 feet 10 feet 6 feet MDR-24, MDR12, OFR 10 feet 6 feet 20 feet 5 feet NA 6 feet 6 feet 20 feet 10 feet 6 feet

Table 4.0130(E) - Minimum Setbacks in Residential Districts7

Table 4.0130(E) Notes:

1 See Section 10.0200 for setbacks of detached accessory structures and for setbacks of attached and detached patio covers in LDR-5, LDR-7,TLDR and TR.

2 Buffering and Screening Standards of Section 9.0100 may apply.

3 Height Transition Standards of Section 9.0600 may apply.

4 20 foot minimum distance between major structures on same lot, except for non-single family attached townhouse style dwellings on the same lot where a minimum of 10 feet in between major structures (side to side) will be required. Detached carports and detached garages are not major structures. See Section 10.0200 for accessory structure setback standards.

5 Maximum front and street-side setbacks apply as provided for the Corridor Multi-Family District in Table 4.0430 and Section 4.0433(B).

6 For double-fronted lots, each street frontage shall be considered a front yard in terms of setback requirements (except when one of the frontages is an alley or private accessway, in which case that yard will be the rear).

7 In cases where sidewalk access is provided by easement, the setback shall be measured from the easement line closest to the house or garage per Table 4.0130(E).

8 The Zero Lot Line option may only be employed on a lot designated as a zero lot line lot through a land division approval. See Section 4.0132(A)(3).

9 Setbacks for single family attached units are identified in Table 7.0201(M)(3)(a).

10 The maximum setback for single-family detached dwellings from the end of a Minor Access Street is 25 feet.

[4.01 ]11 C ity of Gresham Development Code ( 10/16 )
FRONT SIDE REAR Front Facade/ Wall Front Porch Garage Interior Side (Not Zero or Common Wall) Zero Lot Line Option Street Side Wall Street Side Porch Street Side Garage Access Rear/ No Alley Rear/ With Alley Attached Dwellings: 2, 3, 4, 6 MDR-12 10 feet5 NA5 NA2, 5 10 feet NA 5 feet5 5 feet5 20 feet5 15 feet 15 feet MDR-24 10 feet5 6 feet5 NA2, 5 10 feet NA 5 feet5 5 feet5 20 feet5 15 feet 15 feet OFR 10 feet5 NA5 NA2, 5 10 feet NA 5 NA5 NA5 15 feet 15 feet

4.0131 Additional Standards for the LDR-5 and LDR-7 Districts

A. Density Calculations

1. Accessory dwellings are not included in the determination of density nor are dedicated streets or tracts created for non-dwelling unit purposes such as open space tracts, except where transfer of density from the tract to the remainder of the site is allowed by a Special Purpose Overlay District.

2. A new lot created with a pre-existing dwelling on it may be excluded from the density calculation only if this new lot is less than 8,400 square feet or if the dwelling sits on a “leftover parcel” as described with Section 4.0132(E).

B. Development of a Lot of Record in LDR-5: A lot of record which is less than 5,000 square feet may be developed for all uses permitted in the LDR-5 district when in compliance with the other requirements of the LDR-5 District.

C. Development of Duplexes on a Lot Created under standards in effect Prior to December 19, 1996: A lot that was created under standards in effect prior to December 19, 1996, may be developed with a duplex, only if:

1. It is 8,000 square feet or more in size and any portion is located within 275 feet of a major arterial or standard arterial street; or

2. It is designated on a recorded plat as a duplex lot.

D. Development of a Lot of Record in LDR-7: A lot of record which is less than 7,000 square feet may be developed for all uses permitted in the LDR-7 District when in compliance with the other requirements of the LDR-7 District.

4.0132 Additional Standards for the LDR-5, LDR-7, TR and TLDR Districts

A. Yard Setbacks for Single-Family Detached Dwellings

1. Refer to Table 4.0130(E) for setbacks of single-family detached dwellings.

2. See Section 10.0200 for yard setback requirements for detached accessory structures and for attached and detached patio and deck covers.

3. Zero lot line special side yard setback conditions:

a. For an adjacent lot, the yard abutting the 6 inch side shall be a minimum of 6 feet.

b. A zero lot line side yard setback shall not be employed where the abutting property is not part of a zero lot line development. When the zero lot line cannot be employed, the structure shall be a minimum of 5 feet from the interior side yard property boundary.

c. All side yard setbacks in a zero lot line development shall be clearly indicated on each lot for both the tentative partition or subdivision plan and final partition or subdivision plat.

d. A perpetual six foot maintenance and general utility easement shall be provided on the lot adjacent to the zero lot property line. This easement shall be kept clear of structures or any other object which could physically preclude access to areas within the easement for utilities access and for maintenance of the wall on the zero lot line side of the structure.

City of Gresham Development Code (10/16)
[4.01]-12

B. Yard Setbacks for Single-Family Attached Dwellings. Refer to Table 4.0130(E) and Table 7.0201(M)(3)(a) for setbacks of single-family attached dwellings.

C. Maximum number of units per lot: No more than one dwelling unit or duplex may be located on a lot except as authorized for those residential uses subject to a Special Use Review pursuant to Section 8.0100 and except as authorized through the Accessory Dwelling provisions of Section 10.0100 of the Community Development Code.

D. Safe Neighborhood Design Performance Standards

These provisions are intended to help create safer neighborhoods and a high-quality pedestrian environment by incorporating crime prevention design that emphasizes linkages and surveillance between the dwelling and the street. These provisions apply to construction of new single-family detached dwellings, duplexes and single-family attached dwellings

1. Visible Dwelling Front. Except for homes on the flag portion of flag lots, the front door shall be oriented towards the street which the dwelling faces. At least 75 percent of that street frontage shall be visible from: 1) the front door; or 2) a street facing ground floor window in a frequently used room such as a living room, dining room, kitchen or bedroom (but, for example, not a window to a garage, bathroom or storage area); or 3) a street facing second story, minimum four-foot-by-four-foot window, except a bathroom window, placed no higher than 3 feet 6 inches from the floor to the bottom of the window sill. This section allows portions of the front of a dwelling to protrude forward of other portions, as long as the visibility standard is satisfied. A dwelling on a lot created pursuant to Section 10.1520 may use a private drive or future street to comply with this provision.

2. Street Pedestrian Connection Options. Except for homes on the flag portion of flag lots, at least one of the following shall be provided:

a. Separate Walkway. A separate, minimum three foot wide hard surfaced walkway directly from the public sidewalk to the front door; or

b. Combined Walkway. A minimum three foot wide hard surfaced walkway from the public sidewalk to the front door with at least a portion of the walkway combined at the edge of the driveway. The walkway width must extend at least 3 feet beyond the edge of the garage door (see Figure 4.0132(D)(2)(b)).

City of Gresham Development Code (10/16)
[4.01]-13
Figure 4.0132(D)(2)(b): Combined walkway width extending beyond garage door

3. Street Surveillance Options. At least one of the following shall be provided:

a. Ground Level Outdoor Surveillance Area. A minimum 40 square foot covered, hard-surfaced entry area is placed immediately adjacent to the front door; or

b. Upper Level Outdoor Surveillance Area. A minimum 30 square foot second story covered or open porch, balcony or deck is placed on the front of the dwelling; or

c. Dwelling Front Location. The front of the dwelling (not including the garage) or of a covered entry has maximum setback of 16 feet; or

d. Dwelling and Garage Front Location. The front of the garage is flush with the front of the dwelling or is recessed back from the front of the dwelling.

E. Land Divisions with Left-Over Parcels

An application for a land division may have a “left-over” parcel or portion of the property which is capable of further development and which is not included as part of a phased subdivision. The area of up to two such parcels may be excluded from the average lot size calculation provided that a future development plan is submitted which demonstrates that the parcel(s) can be developed consistent with applicable standards

Parcels created under this provision may not be developed until:

a. Lots are created pursuant to Article 6 - Land Divisions, which are consistent with the standards of the LDR-5, LDR-7 , TLDR and TR Districts (as appropriate) and other applicable provisions of the Community Development Code; or

b. Approved through the Special Use Review process found in Section 8.0100

The applicant shall file a note of the plat or other documents in the office of the County Recorder that such left-over parcel(s) shall not be developed until lots are created pursuant to Article 6Land Divisions, which are consistent with the standards of the LDR-5, LDR-7, TLDR, and TR Districts (as appropriate) and other applicable provisions of the Community Development Plan; or approved through the Special Use Review process found in Section 8.0100

F. All developments shall also be subject to the applicable requirements of Section 4.0130; Article 9 - Common Requirements; and Section A5.000 - Public Facilities.

4.0133 Single-Family Attached Dwelling Standards for Phasing and Design Review

A. If a phased development or subdivision is proposed for a development that includes single family attached dwellings, the first phase shall conform to density requirements without consideration of subsequent phases. Later phases shall conform to density requirements in a cumulative fashion, taking into account previous phases and while continuing to meet density standards at each phase. This is calculated by adding the number of lots for the current phase and all previous phases and dividing by the acreage of the current phase (taking into account subtractions in the “Net Density” definition) and all previous phases. The result shall meet the applicable density standard.

B. All developments that include single family attached dwellings shall receive both land division approval to create lots for the single family attached dwellings as required in Article 6, and design review approval as required in Article 7.

Recording of the plat for the land division shall be a condition of approval of both design review and the issuance of building permits for single family attached dwellings.

[4.01]-14

City of Gresham Development Code (10/16)

4.0134 Standards for Residential Districts Other Than LDR-5, LDR-7, TLDR and TR

A. Building Height requirements for MDR-24 District. Three stories or 40 feet unless equipped with built-in fire protection systems. When fire sprinklers, alarms, and, when needed, enclosed, pressurized exit stairwell systems are provided, the building height can be increased to 45 feet.

B. Limited Business and Retail Service and Trade in OFR District Limited Business and Retail Service and Trade are permitted in office complexes when all of the following standards are met:

1. The uses are scaled to service the tenants of the office complex or surrounding office area.

2. The uses do not exceed 20% of the total office floor area of a new or existing structure.

3. The commercial uses are not developed prior to the office uses on which the 20% area is based.

4. Siting and signage are internally oriented.

C. Moderate Density Residential District-12: A lot of record which is less than 10,000 square feet may be developed for all uses permitted in this district, except a manufactured dwelling park when in compliance with the other requirements of the Moderate Density Residential-12 District.

D. Moderate Density Residential District-24: A lot of record which is less than 11,000 square feet may be developed for all uses permitted in this district. Attached dwellings may be developed on a lot of record which is less than 11,000 square feet when in compliance with the following density requirements:

1. Minimum net density = a duplex

2. Maximum net density = 24.2 units per acre

E. Office/Residential District: A lot of record which is less than 7,200 square feet may be developed for all uses permitted in this district, except an attached dwelling when in compliance with the other requirements of the Office/Residential District.

F. All developments shall also be subject to the applicable requirements of Section 4.0130; Article 9- Common Requirements; and Section A5.000 - Public Facilities.

4.0135 Single Family and Duplex Construction on a Lot

A. The construction of a single-family detached dwelling, manufactured home or duplex in an LDR-5, LDR-7, TR or TLDR District, or single-family attached dwelling in the TR or TLDR District on a lot within an approved land division where sewer lines, water lines, storm drainage facilities, and streets are constructed to the city standards that were in effect when the land division was approved, and (in the case of single-family attached dwellings in TR or TLDR) an active design approval is in effect or the land division predated said requirement, shall be reviewed under the Type I procedure to determine if the proposal meets the site development requirements in Standards Section 4.0130 or in the Variation to Development Standards of Section 6.0321 (Planned Development) of the Gresham Community Development Code. The property owner shall still obtain all required permits.

B. The construction of a single-family detached dwelling, manufactured dwelling or duplex or single family attached dwelling that does not meet the requirements of Subsection (A) shall also be reviewed under the Type I procedure except that this review shall focus on street and utility requirements for new construction as per Section A5.000.

City of Gresham Development Code (10/16)
[4.01]-15

C. Except as provided by Section 5.0328, the Manager may approve alterations to existing singlefamily detached dwellings under the Type I procedure. The proposal need not comply with Section A5.000 of the Community Development Code. If the application for an alteration to a single-family detached dwelling is processed with another development permit application, all the standards of the Community Development Code shall apply.

4.0136 Manufactured Dwelling Requirements

A. An application for a development permit for a manufactured dwelling shall provide proof that the proposed manufactured dwelling meets the definition of manufactured dwelling as stated in Article 3.

B. The manufactured dwelling shall be multi-sectional and enclose a space of not less than 1,000 square feet.

C. The manufactured dwelling shall be placed on, and attached to, an excavated and back-filled foundation and enclosed at the perimeter such that the manufactured dwelling is located not more than 12 inches above grade.

The measurement is taken from the top of the foundation to grade. In the case of a sloped lot the foundation may be stepped down with a maximum of 30" of masonry exposed. Supporting framing material shall have coverings of siding material matching the siding material of the manufactured dwelling.

D. The manufactured dwelling shall have a pitched roof with a nominal slope of at least 3 feet in height for each 12 feet of width.

E. The manufactured dwelling shall be certified by the manufacturer to have an exterior thermal envelope meeting performance standards which reduce heat loss to levels equivalent to the performance standards required of single-family dwellings constructed under the State’s building code as defined in ORS 455.010.

F. The manufactured dwelling shall have a garage or carport with exterior materials matching the manufactured dwelling.

4.0137 Accessory Dwellings

The establishment of an accessory dwelling unit may be allowed in conjunction with single-family detached dwellings in the LDR-5, LDR-7, TR and TLDR districts. Accessory dwellings may be permitted as a means of providing more affordable housing opportunities for young families, empty nesters and others. Accessory dwellings can encourage additional density with minimal cost and disruption to surrounding neighborhoods; allow individuals and smaller households to retain large houses as residences; provide convenient care for the elderly and infirm on a long-term basis; and allow more energy-efficient use of large, older homes. Refer to Section 10.0100 for Accessory Dwelling development requirements.

City of Gresham Development Code (10/16)
[4.01]-16

4.0138 Residential Compatibility Standards for LDR-5, LDR-7, TLDR and TR

A. Purpose. These standards are intended to provide safe, connected neighborhoods at a compatible scale supported by public street systems and to establishing special height, bulk and setback requirements.

B. Standards for Non-Standard Lots, Except Flag Lots. The following standards apply to new residential development on existing or proposed lots in LDR-5, LDR-7, TLDR or TR that are non-standard but not flag lots. A non-standard residential lot or parcel is one that does not meet the standard lot depth, width, size, or frontage requirements for the district.

In addition, the Manager may require compliance with these standards by future development as a condition of approval for any land division which abuts existing single family residential development and which requires an adjustment or variance pursuant to Section 10.1500. When required, findings must support compliance with these standards as a condition of approval in order to help preserve the character of existing residential neighborhoods.

1. Residential Floor Area Ratio (FAR). In order to preserve the residential character of existing neighborhoods and limit the mass of residential buildings in relation to the lot area, the following floor area standards are established:

a. Residential Building Size Standard. The floor area on any lot proposed for residential development shall not exceed the following (see Figure A12.002, Appendix 12.000):

Lots with less than 4,000 square feet of effective lot area – 60 percent of the effective lot area.

Lots with 4,000 to 8,000 square feet of effective lot area – 2,000 square feet plus 10 percent of the effective lot area.

Lots with greater than 8,000 square feet of effective lot area – this standard does not apply.

b. For the purposes of this section, “floor area” does not include unenclosed areas such as decks or porches and up to 500 square feet of garage space.

c. Effective Lot Area. As used in Section 4.0138, “effective lot area” is the gross horizontal area of a lot minus any portion of the lot encumbered by an access easement (see Figure A12.003, Appendix 12.000).

2. Building Height Setback (Rear and Side Yards). To provide compatible building scale and privacy between developments, taller buildings shall set back further to create a building height transition to neighboring residence(s). (See Figure A12.005, Appendix 12.000).

a. This standard applies to new non-standard lot development over 20 feet in height that is not on a flag lot.

b. For every foot of height over 20 feet, an additional six (6) inches of setback shall be added to the standard rear and/or side yard setback required by Table 4.0130 E The additional setback(s) shall only be required along those property lines that are shared with existing or planned single family residence(s).

City of Gresham Development Code (10/16)
[4.01]-17

c. Porches, bay windows and decks may intrude into the required additional setbacks provided they are less than 20 feet in height.

3. Developments required to comply with Section 4.0138(B) are exempt from Section 4.0138(D)

C. Standards for Flag Lots

The following requirements apply to new development or expansions on existing or proposed lots in LDR-5, LDR-7, TLDR or TR that are flag lots whether the flag pole is part of the flag lot or the pole portion is an access easement. Flag lots and flag poles are defined in Article 3

1. Process. Flag lots shall require a Type II Adjustment pursuant to Section 10.1520, Reduction in Minimum Street Frontage.

2. Minimum setbacks for the flag portion of the flag lot are:

a. Front and side: 10 feet.

b. Rear with no alley: 10 feet.

c. Rear with an alley: 6 feet.

3. Height limits for flag lot structures are:

a. Structures with roofs with a pitch less than 1 foot for each 4 feet of horizontal distance: 22 feet.

b. Structures with a butterfly or mansard roof: 22 feet.

c. Structures with pitched roofs not listed in (b) of this subsection where the pitch is equal to or greater than 1 foot for each 4 feet of horizontal distance: 30 feet.

4. Flag lots must comply with the applicable provisions of Section 9.0100 – Buffering and Screening Requirements.

5. Creation of flag lots:

a. Permanent flag lots may be created only when mid-block streets or alleys cannot be extended to serve future development. Implementation of a Future Street Plan, pursuant to Section 9.0700, identifying mid-block streets shall be required whenever practicable as an alternative to approving a permanent flag lot (see Figure A12.006, Appendix 12.000).

For the purposes of this section “whenever practicable” shall mean other than as prevented by a topographic or natural feature, a transportation or public facility (e.g., an existing roadway, rail line, or school), or other feature of a fixed nature. Existing dwellings, other than those on the Gresham Historic and Cultural Overlay District or National Register, existing lot patterns, and financial inability or lack of willing participants shall not preclude a Future Street Plan if future redevelopment and lot consolidation is possible.

b. Interim flag lots may be allowed in conjunction with an approved Future Street Plan in order to allow infill development to occur prior to construction of the future street.

6. Driveways related to flag lots:

a. A flag lot driveway (i.e., flag pole) may serve no more than two (2) flag lots.

[4.01]-18

City of Gresham Development Code (10/16)

b. A drive serving more than one lot shall have a reciprocal and shared access and maintenance access easement agreement recorded for all lots. No fence, structure or other obstacle shall be placed within the drive area (see Figure A12.001, Appendix 12.000).

c. Driveway width. All driveways serving flag lots, whether on a flag lot parcel or an easement, shall have a minimum travel lane width of 12 feet and a minimum planter strip width of 3 feet. The planter strip shall be located between the pole portion of the flag lot and the neighboring parcel(s) and shall extend the length of the driveway (See Figure A12.001, Appendix 12.000). The maximum width is 20 feet, except as required by the Oregon Fire Code.

d. Maximum driveway length. The maximum driveway length is subject to requirements of the Oregon Fire Code and shall not exceed 150 feet.

7. Lot Area. Flag poles or flag pole easements shall be considered not buildable and shall not be included in lot size calculations. Density shall be based on effective lot area. (See Figure A12.003, Appendix 12.000). As used in Section 4.0138, “effective lot area” is the gross horizontal area of a lot minus any portion of the lot encumbered by an access easement, including the pole of a flag lot (see Figure A12.003, Appendix 12.000).

8. Additional Requirements for Interim Flag Lots.

a. Interim flag lots shall have standard street frontage onto the proposed future street and shall take access from the future street upon its completion.

b. If an interim flag pole is not part of a planned future street, then it shall be provided via an easement and said easement shall revert to the property owner upon completion of the planned future street.

c. Future Street Plans. Building placement and alignment of shared drives shall be designed so that future street connections can be made as surrounding properties develop.

d. Future Street Dedication, Improvement and Non-remonstrance Agreements. The applicant/owner may be required to dedicate right-of-way to support a future street plan. The dedication shall be so indicated on the face of the subdivision or partition plat. Pursuant to Section A5.408, street improvements shall be made consistent with public works standards and subject to the requirements of the Oregon Fire Code. An improvement agreement or non-remonstrance agreement may be required to ensure future improvements or participation in a Local Improvement District.

D. Standards for New Residential Development Adjacent to Existing Low-scale Development

1. Intent: In situations where new or expanding residential development is next to an older single-family detached dwelling or duplex in certain districts, the new development should be limited in volume such that a two-story house is allowed with the potential for a third story that has less volume and square footage than the first two stories. This is intended to reduce the difference in scale and massing on the two lots and limit the potential number of views onto the abutting, existing property from proposed structure’s windows.

City of Gresham Development Code (10/16)
[4.01]-19

2. Applicability:

These standards apply to expansion of existing residential structures where building volume is being increased and to construction of new single-family detached dwellings, duplexes, single-family attached dwellings and associated accessory structures in the following circumstances.

The lot abutting the proposed development has the following characteristics:

a. The abutting lot is in LDR-5, LDR-7, TR or TLDR; and

b. A single-family detached dwelling or duplex exists that has been on the lot for at least 10 years; and

c. The existing single-family detached dwelling or duplex is less than or equal to 15 feet tall, which means buildings with flat roofs are less than or equal to 15 feet tall and buildings with pitched roofs measure 15 feet or less from the ground to the highest exterior portion of the eave; and

d. When the shared property line is:

1. The side lot line for both lots and the existing single-family detached dwelling or duplex on the lot is within 15 feet of the shared property line between its lot and the lot with the new construction or expansion; or

2. The rear lot line of the lot with the existing single-family detached dwelling or duplex and the side lot line of the lot with the proposed development and the existing single-family detached dwelling or duplex on the lot is within 30 feet of the shared property line; and

3. The lot with the proposed development is in LDR-5, LDR-7, TR or TLDR or is a new or expanding single-family attached structure on a lot abutting a single-family dwelling or duplex in LDR-5, LDR-7, TR or TLDR.

3. Standards:

Buildings shall comply with a compatibility angle that limits the volume of buildings on the site. The angle is determined in the following manner and is shown in Figure 4.0138(D)(3):

a. The starting point for the compatibility angle shall be the midpoint of the lot line of the existing dwelling. (See Figure 4.0138(D)(3)(a)). If a retaining wall is located at the property line’s midpoint, the starting point shall begin halfway between the ground at the bottom of the wall and the top of the wall.

City of Gresham Development Code (10/16)
[4.01]-20
Figure 4.0138(D)(1): Intent for smaller third floor

b. From the midpoint, a horizontal plane perpendicular to the ground and 17 feet directly above the lot line shall be established. Then a plane shall be established at a 45-degree angle inward over the property with the new or expanding development, rising 1 foot of additional rise for each 1 foot from the lot line.

c. A potential adjustment may be allowed for lots on existing slopes where the compatibility angle restricts the building volume more than intended in Section 4.0138(D)(1). It does not apply to lots where the grade has been artificially raised. Adjustments shall meet the following standards:

1. Lots intended for proposed development that have existing slopes as described above can apply for the vertical plane to be raised if the compatibility angle results in a height at the 5-foot setback that is less than 20 feet on the portion of the lot where the applicant intends to build a structure; and

2. The applicant requesting the change in vertical plane shall demonstrate that the development cannot comply with the compatibility angle by changing the location of the building because of Habitat Conservation Area, steep slopes, existing structures, tree preservation or similar constraints; and

3. The revision shall be approved at the discretion of the Manager; and

4. The revision shall conform to the intent of the compatibility angle to limit side wall heights to 22 feet facing the lot with the existing single-family detached dwelling or duplex that meets the standards in Section 4.0138(D)(2)

d. If the compatibility angle results in a height at the 5-foot setback that is more than 26 feet in the area where the applicant intends to build a structure, the 17-foot vertical plane may be lowered at the discretion of the Manager until the compatibility angle results in a 22-foot height at the 5-foot setback. The angle would be lowered to meet the intent of Section 4.0138(D)(1).

e. Solar collection equipment, vents, antennas and chimneys may project beyond the 45-degree compatibility angle. The maximum projection for solar collection equipment shall be 18 inches. For additional solar energy system standards, see Section 10.0900 Renewable Energy.

[4.01]-21 City of Gresham Development Code (10/16)
Figure 4.0138(D)(3): Compatibility angle

4.0139 Large Lot Subdivision Option for LDR-5 and LDR-7

A. This subsection is intended to provide for a greater range of housing choices in the city by making available as an option to property owners/applicants the opportunity to create a subdivision that has an average lot size within the 8,000 sq. ft. to 14,000 sq. ft. range in LDR-5 or LDR-7. Large lot subdivisions are not required to comply with the minimum density standard of the underlying LDR-5 or LDR-7 District. They shall be processed in the same manner as other subdivisions and subject to the applicable land division requirements of the development code. Subdivision lots created using the Large Lot Subdivision Option are not eligible for further land division.

B. Standards for large lot subdivisions. The following standards apply to large lot subdivisions:

1. A large lot subdivision must have an average lot size of at least 8,000 square feet and less than 14,000 square feet.

2. The minimum lot size in a large lot subdivision shall be 8,000 square feet.

3. Large lot subdivisions are restricted to detached single-family dwellings.

4. Minimum subdivision lot dimensions/yard setbacks:

Minimum subdivision lot dimensions: Lot width at building line

(interior and corner lots): 50 feet

Lot depth (interior and corner lots): 100 feet

Minimum front yard setback: All structures: 20 feet

Minimum side yard setbacks: Interior side: 7.5 feet

[4.01]-22 City of Gresham Development Code (10/16)
Figure 4.0138(D)(3)(a): Midpoint example

Street side wall: 15 feet

Street side porch: 9 feet

Street side garage access: 20 feet

Minimum rear yard setbacks:

Rear (no alley): 25 feet

Rear (with alley): 9 feet

5. Unless otherwise noted above, all other LDR-5 or LDR-7 standards and requirements apply to large lot subdivisions.

4.0140 Solar Energy Standards for Residential Districts

Solar energy systems are limited in residential districts as follows:

A. Scale.

1. LDR-5, LDR-7, TLDR and TR: Small scale solar energy systems are permitted in these districts.

2. MDR-12, MDR-24 and OFR: Small and medium scale solar energy systems are permitted in these districts. Large scale systems are permitted with a Special Use Review.

B. Type.

1. LDR-5, LDR-7, TLDR and TR: Roof-top, flat-roof, integrated and ground-mounted solar energy systems are permitted in these districts.

2. MDR-12, MDR-24 and OFR: Roof-top, flat-roof, integrated and ground-mounted solar energy systems are permitted in these districts.

C. Height.

1. LDR-5, LDR-7, TLDR and TR: The following limitations on maximum height apply to solar energy systems in these districts:

a. Roof-top, Flat-roof and Integrated. Systems shall not exceed the district height limit in which they are located and shall not exceed the roof peak height of the portion of the roof on which the system is installed.

b. Ground-mounted. Systems shall not exceed 6 feet in height.

2. MDR-12, MDR-24 and OFR: The following limitations on maximum height apply to solar energy systems in these districts:

a. Roof-top, Flat-roof and Integrated.

i. For roofs that are flat or the horizontal portion of mansard roofs, the solar energy systems on frames shall not exceed 10 feet above the roof height on which the system is installed.

ii. For pitched, hipped or gambrel roofs, the solar energy system panels shall not exceed 18 inches in height from the surface of the roof on which the system is installed.

City of Gresham Development Code (10/16)
[4.01]-23

b. Ground-mounted. Ground-mounted solar energy systems shall not exceed 20 feet in height.

D. Setbacks and Yards.

1. LDR-5, LDR-7, TLDR and TR: Solar energy systems are not allowed in the required front, street-side or side setbacks and are not allowed in the front or street-side yard between the building and the street in these districts.

2. MDR-12, MDR-24 and OFR: Solar energy systems are not allowed in the required front setback or in the street-side setback and are not allowed in the front yard between the building and the street in these districts.

4.0141 Wind Energy Standards for Residential Districts

Wind energy systems are limited in residential districts as follows:

A. Scale.

1. LDR-5, LDR-7, TLDR and TR: Small scale wind energy systems are permitted in these districts.

2. MDR-12, MDR-24 and OFR: Small and medium scale wind energy systems are permitted in these districts.

B. Type.

1. LDR-5, LDR-7, TLDR and TR: Roof-top wind energy systems are permitted in these districts.

2. MDR-12, MDR-24 and OFR: Roof-top and ground-mounted wind energy systems are permitted in these districts.

C. Height.

1. LDR-5, LDR-7, TLDR and TR: The following limitations on maximum height apply to wind energy systems in these districts:

a. Roof-top. Wind energy systems shall not exceed the district height limit in which they are located and shall not exceed 10 feet above the height of the roof on which the system is installed.

2. MDR-12, MDR-24 and OFR: The following limitations on maximum height apply to wind energy systems in these districts:

a. Roof-top. The height of roof-top wind energy systems shall not exceed a value equal to 10 feet above the height of the roof on which the system is installed. Additionally, the building height plus the wind energy system height together shall not exceed 45 feet.

b. Ground-mounted. The height of ground-mounted wind energy systems shall not exceed 45 feet as measured from the grade at the base of the equipment to the top of the system.

D. Setbacks and Yards.

1. LDR-5, LDR-7, TLDR and TR: Wind energy systems are not allowed in the required front, street-side, side or rear setbacks or in any yards in these districts.

[4.01]-24

City of Gresham Development Code (10/16)

2. MDR-12, MDR-24 and OFR: Wind energy systems are not allowed in the required front, street-side, side or rear setbacks, and are not allowed in the front or street-side yards between the building and the street in these districts.

4.0142 Biomass Energy Standards for Residential Districts

Biomass energy systems are limited in residential districts as follows:

A. Scale.

1. LDR-5, LDR-7, TLDR and TR: Small scale biomass energy systems are permitted in these districts with a Special Use Review.

2. MDR-12, MDR-24 and OFR: Small scale biomass energy systems are permitted in these districts.

B. Type.

1. LDR-5, LDR-7, TLDR and TR: Non-hazardous biomass systems are permitted in these districts.

2. MDR-12, MDR-24 and OFR: Non-hazardous biomass systems are permitted in these districts.

C. Height.

1. LDR-5, LDR-7, TLDR and TR: Biomass energy systems shall not exceed the maximum district height limits in these districts.

2. MDR-12, MDR-24 and OFR: Biomass energy systems shall not exceed the maximum district height limits in these districts.

D. Setbacks and Yards.

1. LDR-5, LDR-7, TLDR and TR: Biomass energy systems are not allowed in the required front, street-side, side or rear setbacks, and are not allowed in front or street-side yards between the building and the street, or in side yards in these districts.

2. MDR-12, MDR-24 and OFR: Biomass energy systems shall not be allowed in the required front, street-side, side or rear setbacks, and are not allowed in the front or street-side yards between the building and the street, or in side yards in these districts.

4.0143 Geothermal Energy Standards for Residential Districts

Geothermal energy systems are limited in residential districts as follows:

A. Scale.

1. LDR-5, LDR-7, TLDR and TR: Small scale geothermal energy systems are permitted in these districts.

2. MDR-12, MDR-24 and OFR: Small scale geothermal energy systems are permitted in these districts. Large scale systems are permitted with a Special Use Review.

B. Type.

1. LDR-5, LDR-7, TLDR and TR: Closed-loop geothermal energy systems that are not in any well field protection areas are permitted in these districts.

2. MDR-12, MDR-24 and OFR: Closed-loop geothermal energy systems that are not in any well field protection areas are permitted in these districts.

[4.01]-25

City of Gresham Development Code (10/16)

C. Height.

1. LDR-5, LDR-7, TLDR and TR: Geothermal energy systems shall not exceed the maximum district height limits in these districts.

2. MDR-12, MDR-24 and OFR: Geothermal energy systems shall not exceed the maximum district height limits in these districts.

D. Setbacks and Yards.

1. LDR-5, LDR-7, TLDR and TR: Geothermal energy systems are not allowed in the required front, street-side, side or rear setbacks in these districts, except that small geothermal heating and cooling units such as heat pumps can project into the setbacks per Section 9.0900 Projections.

2. MDR-12, MDR-24 and OFR: Geothermal energy systems are not allowed in the required front, street-side, side or rear setbacks in these districts, except that small geothermal heating and cooling units like heat pumps can project into the setbacks per Section 9.0900 Projections.

4.0144 Micro-Hydro Energy Standards for Residential Districts

Micro-hydro energy systems are limited in residential districts as follows:

A. Scale.

1. LDR-5, LDR-7, TLDR and TR: Small scale micro-hydro energy systems are permitted in these districts.

2. MDR-12, MDR-24 and OFR: Small scale micro-hydro energy systems are permitted in these districts.

B. Type.

1. LDR-5, LDR-7, TLDR and TR: In-pipe micro-hydro energy systems in water, stormwater or wastewater pipes are permitted in these districts.

2. MDR-12, MDR-24 and OFR: In-pipe micro-hydro energy systems in water, stormwater or wastewater pipes are permitted in these districts.

C. Height.

1. LDR-5, LDR-7, TLDR and TR: Generally the district height limits apply in these districts. However, in-pipe systems may exceed the district height limit as allowed for mechanical equipment. If supplemental equipment structures accompany the in-pipe systems, then the district height limit would apply.

2. MDR-12, MDR-24 and OFR: Generally the district height limits apply in these districts. However, in-pipe systems may exceed the district height limit as allowed for mechanical equipment. If supplemental equipment structures accompany the in-pipe systems, then the district height limit would apply.

D. Setbacks and Yards.

1. LDR-5, LDR-7, TLDR and TR: Micro-hydro energy systems contained within piping are allowed and pipe can run within the setbacks in these districts. However, if supplemental equipment structures accompany the in-pipe systems, then the district setback limits apply

[4.01]-26

City of Gresham Development Code (10/16)

2. MDR-12, MDR-24 and OFR: Micro-hydro energy systems contained within piping are allowed and pipe can run within the required setbacks in these districts. However, if supplemental equipment structures accompany the in-pipe systems, then the district setback limits apply.

4.0150 Poultry, Livestock and Beekeeping

The keeping of poultry and livestock is permitted in the LDR-5, LDR-7, TR, TLDR, MDR-12 and MDR24 districts provided the poultry and livestock are kept over 100 feet from any residence other than the dwelling on the same lot.

See also the Gresham Revised Code Article 7.17 for specific regulations regarding the keeping of chickens and Gresham Revised Code Article 7.18 for beekeeping on lots containing single-family detached homes.

[4.01]-27 City of Gresham Development Code (10/16)
[4.01]-28 City of Gresham Development Code (10/16)

4.0201 Purpose

SECTION 4.0200 COMMERCIAL LAND USE DISTRICTS

General

Land Use District Characteristics

4.0210 Neighborhood Commercial District (NC)

4.0212 Central Rockwood and Corridor Districts

Permitted Uses

4.0220 Permitted Uses

Commercial Land Use District Standards

4.0230 Commercial Land Use District Standards

4.0231 Additional Commercial Land Use District Standards

4.0232 Solar Energy Standards for Commercial Districts

4.0233 Wind Energy Standards for Commercial Districts

4.0234 Biomass Energy Standards for Commercial Districts

4.0235 Geothermal Energy Standards for Commercial Districts

4.0236 Micro-Hydro Energy Standards for Commercial Districts

General

4.0201 Purpose

Development on lands designated Neighborhood Commercial District is permitted when consistent with the provisions of this section and all other applicable requirements of the Community Development Code.

Land Use District Characteristics

4.0210 Neighborhood Commercial District (NC)

The Neighborhood Commercial District is intended to provide for small to medium sized shopping and service facilities and limited office uses adjacent to residential neighborhoods. The district is intended to meet the shopping and service needs of the immediate neighborhood and to have minimal negative impacts on surrounding residential uses. Areas determined appropriate for Neighborhood Commercial Districts are identified on the Community Development Plan Map.

[4.02]-1 City of Gresham Development Code (10/16)

4.0212 Central Rockwood and Corridor Districts

Additional Commercial Development Districts unique to the Corridor Districts are listed in Section 4.0400. The Gresham Community Development Plan map identifies the location of these additional development districts.

Permitted Uses

4.0220 Permitted Uses

Table 4.0220 lists those uses that are permitted in each Commercial District.

• P = Permitted use

• L = Use is permitted, but is limited in the extent to which it may be permitted

• NP = Use not permitted

• SUR = Use permitted subject to a Special Use Review

Each of these uses must comply with the site development requirements of Section 4.0230-4.0231 and all other applicable requirements of the Community Development Code.

Table 4.0220: Permitted Uses in the Commercial Land Use Districts

City of Gresham Development Code (10/16)
[4.02]-2
USES NC RESIDENTIAL1 Single-Family Detached Dwelling NP Duplex NP Single-Family Attached Dwellings NP Attached Dwellings on a Single Lot NP Elderly Housing NP Manufactured Dwelling Park NP Residential Facility NP Residential Home NP COMMERCIAL Auto-Dependent Use L2 Business and Retail Service and Trade L3 Clinics NP Commercial Parking SUR Daycare Facilities SUR Live-Work NP Major Event Entertainment SUR Mini-Storage Facilities NP Outdoor Commercial NP

Table 4.0220 Notes

1 Home occupations may be permitted with a pre-existing dwelling in the NC district. Temporary health hardship dwellings may be permitted with a pre-existing single-family detached dwelling home in the NC district.

2 Limited to gas stations and similar retail uses with a maximum gross floor area of 10,000 square feet.

3 Business and Retail Service and Trade are limited to the following:

• Eating and drinking establishments with a maximum gross floor area of 3,500 square feet

City of Gresham Development Code (10/16) USES NC INDUSTRIAL Construction NP Exclusive Heavy Industrial Uses NP Industrial Office NP Information Services NP Manufacturing NP Miscellaneous Industrial NP Trade Schools NP Transportation/Distribution NP Warehousing/Storage NP Waste Management NP Wholesale Trade NP INSTITUTIONAL USES Civic Use SUR Community Services SUR Medical SUR Parks, Open Spaces and Trails SUR Religious Institutions SUR Schools SUR RENEWABLE ENERGY5 Solar Energy Systems L/SUR6 Wind Energy Systems L7 Biomass Energy Systems L8 Geothermal Energy Systems L/SUR9 Micro-Hydro Energy Systems L10 OTHER Basic Utilities Minor basic utilities Major basic utilities P SUR Heliports4 NP Wireless Communication Facilities SUR Temporary, Intermittent & Interim Uses P Marijuana Businesses L11
[4.02]-3

• Insurance, real estate, and other similar offices with a maximum gross floor area of 5,000 square feet

• Laundries, dry cleaners, barber salons, and other similar personal services with a maximum gross floor area of 5,000 square feet

• Clothing, drug stores, and similar retail trade uses with a maximum gross floor area of 10,000 square feet

• Grocery store with a maximum gross floor area of 35,000 square feet

4 Permitted as an accessory use to Medical and Civic Uses through the Special Use Review process.

5 See Section 10.0900 for additional standards that apply

6 For limitations, see Section 4.0232 Solar Energy System Standards for Commercial Districts

7 For limitations, see Section 4.0233 Wind Energy System Standards for Commercial Districts

8 For limitations, see Section 4.0234 Biomass Energy System Standards for Commercial Districts.

9 For limitations, see Section 4.0235 Geothermal Energy System Standards for Commercial Districts.

10 For limitations, see Section 4.0236 Micro-Hydro Energy System Standards for Commercial Districts.

11 For limitations, see GRC 9.63.090

Commercial Land Use District Standards

4.0230 Commercial Land Use District Standards

The site development requirements listed in Table 4.0230 are applicable to all development within the Neighborhood Commercial district. Development within this district shall also be consistent with all other applicable requirements of the Community Development Code.

[4.02]-4 City of Gresham Development Code (10/16)
A. Maximum Site Size 4 acres1 B. Minimum Lot Size 10,000 square feet C. Minimum Lot Dimensions 1. Width 2. Depth 1. 60 feet 2. 70 feet D. Minimum Yard Setbacks2 1. Front 2. Side a. interior lot b. corner lot 3. Rear 1. 20 feet 2. a. 0 feet b. 0 feet on the interior side and 15 feet on the side abutting the street3 . 3. 0 feet E. Maximum Building Height 35 feet4 F. Maximum Lot Coverage 50% G. On-Site Activities See Section 4.0231(B)5 H. Public Facilities, Site and Supplementary Requirements See Section 4.0231(C) Table 4.0230 Notes: 1 This requirement does not apply to the Springwater Plan District.
NC

2 Buffering and screening may be required in addition to these setbacks. See Section 9.0100 for the buffering and screening requirements. Also, refer to the height transition area requirement found in the Maximum Building Height Section 4.0231(A) since it can increase the minimum yard setbacks where a development abuts a residential district.

3 However, for up to fifty percent (50%) of the length of the side yard abutting a street (excluding that portion of the side yard which overlaps the required front yard), the street-side setback may be reduced to five (5) feet.

4 See Section 9.0600 - Height Transition

5 At least ninety-five percent (95%) of the business activities must be conducted within a completely enclosed structure. No more than five percent (5%) of the area devoted to business use may be used for outdoor business activities, product display, or storage.

4.0231 Additional Commercial Land Use District Standards

A. Maximum Building Height: Three (3) stories or forty (40) feet unless equipped with a built-in fire protection system. When fire sprinklers, alarms, and when needed, enclosed, pressurized exit stairwell systems are provided, the building height can be increased to sixty-five (65) feet.

B. On Site Activities:

1. No outdoor business activities, product display or storage shall be located within yard setback or buffering and screening areas.

2. Areas devoted to on-site outdoor business activities, product display or storage must be located so that they do not interfere with pedestrian circulation.

C. Public Facilities. Site and Supplementary Requirements All developments shall also be subject to the applicable requirements of Section 4.0230 - Commercial Land Use District Standards; Article 9-Common Requirements; and Appendix 5.000 - Public Facilities.

4.0232 Solar Energy Standards for Commercial Districts

Solar energy systems are limited in all commercial districts as follows:

A. Scale. Small and medium scale solar energy systems are permitted in these districts. Large scale systems are permitted with a Special Use Review.

B. Type. Roof-top, flat-roof, integrated and ground-mounted solar energy systems are permitted.

C. Height. The following limitations on maximum height apply to all solar energy systems:

1. Roof-top, Flat-roof and Integrated.

a. For roofs that are flat or the horizontal portion of mansard roofs, the solar energy systems on frames shall not exceed 10 feet above the roof height on which the system is installed.

b. For pitched, hipped or gambrel roofs, the solar energy system panels shall not exceed 18 inches in height from the surface of the roof on which the system is installed.

2. Ground-mounted. Ground-mounted solar energy systems shall not exceed 20 feet in height.

D. Setbacks and Yards. Solar energy systems are not allowed in the required front or in the street-side setbacks.

4.0233 Wind Energy Standards for Commercial Districts

Wind energy systems are limited in all commercial districts as follows:

A. Scale. Small and medium scale wind energy systems are permitted.

B. Type. Roof-top and ground-mounted wind energy systems are permitted.

C. Height. The following limitations on maximum height apply to all wind energy systems:

[4.02]-5

City of Gresham Development Code (10/16)

1. Roof-top. Wind energy system height shall not exceed a value equal to the building height when the building height is 35 feet or less. For example, a 30 foot tall building could have a 30 foot tall wind energy system installed on its roof for a total height of 60 feet from the ground to top of the wind energy system. In no case can the wind energy system exceed 35 feet in height.

2. Ground-mounted. Ground-mounted wind energy systems shall not exceed 45 feet in height.

D. Setbacks and Yards. Wind energy systems are not allowed in required front, street-side, side or rear setbacks and are not allowed in the front or street-side yards between the building and the street.

4.0234 Biomass Energy Standards for Commercial Districts

Biomass energy systems are limited in all commercial districts as follows:

A. Scale. Small scale biomass energy systems are permitted.

B. Type. Non-hazardous biomass systems are permitted.

C. Height. Biomass energy systems shall not exceed the maximum district height limits.

D. Setbacks and Yards. Biomass energy systems are not allowed in the required front, street-side, side or rear setbacks, and are not allowed in the front or street-side yards between the building and the street.

4.0235 Geothermal Energy Standards for Commercial Districts

Geothermal energy systems are limited in all commercial districts as follows:

A. Scale. Small scale geothermal energy systems are permitted. Large scale systems are permitted with a Special Use Review.

B. Type. Closed-loop geothermal energy systems that are not in any well field protection areas are permitted.

C. Height. Geothermal energy systems shall not exceed the maximum district height limits.

D. Setbacks and Yards. Geothermal energy systems are not allowed in the required front, street-side, side or rear setbacks, except that small geothermal heating and cooling units like heat pumps can project into the setbacks per Section 9.0900 Projections.

4.0236 Micro-Hydro Energy Standards for Commercial Districts

Micro-hydro energy systems are limited in all commercial districts as follows:

A. Scale. Small scale micro-hydro energy systems are permitted.

B. Type. In-pipe micro-hydro energy systems such as systems within water, stormwater or wastewater pipe are permitted.

C. Height. Generally the district height limits apply. However, in-pipe systems may exceed the district height limit as allowed for mechanical equipment. If supplemental equipment structures accompany the in-pipe systems, then the district height limit would apply.

D. Setbacks and Yards. Micro-hydro energy systems contained within piping are allowed and pipe can run within the required setbacks. However, if supplemental equipment structures accompany the in-pipe systems, then the district setback limits apply.

[4.02]-6

City of Gresham Development Code (10/16)

4.0301 Purpose

SECTION 4.0300

INDUSTRIAL LAND USE DISTRICTS

General Provisions

Industrial Land Use Districts Characteristics

4.0310 Heavy Industrial (HI)

4.0311 General Industrial (GI)

4.0320 Permitted Uses

Permitted Uses

Development Standards

4.0330 Development Standards Table

4.0331 Additional Industrial District Standards

4.0332 Solar Energy Standards for Industrial Districts

4.0333 Wind Energy Standards for Industrial Districts

4.0334 Biomass Energy Standards for Industrial Districts

4.0335 Geothermal Energy Standards for Industrial Districts

4.0336 Micro-Hydro Energy Standards for Industrial Districts

4.0341 Stormwater Green Development Practices

General Provisions

4.0301 Purpose

This section of the Community Development Code implements Section 10.313 - Industrial Land Use within Volume 2 of the Comprehensive Plan. The purposes of the Industrial Land Use Districts are to: (1) implement the Comprehensive Plan’s goals, policies, and action measures to promote economic development (2) include provisions to support viable industrial trends; and, (3) provide clear and objective standards so that implementation of the Industrial Land Use Districts is efficient, effective, and fair.

Characteristics

4.0310 Heavy Industrial (HI)

The Heavy Industrial District (HI) is intended to provide space for industrial users that may include operational characteristics that could create compatibility issues for adjacent land uses (such as noise and/or air emissions). This district also permits certain uses from the General Industrial District.

4.0311 General Industrial (GI)

The General Industrial District (GI) is primarily intended to provide space for a wide range of industrial uses, related enterprises serving primarily industrial clients, and employment oriented uses in office-type buildings. Primary uses shall include manufacturing and associated industrial uses, knowledge-based

City of Gresham Development Code (10/16)
[4.03]-1

industries (graphic communications, creative services, and information technology), research and development facilities, professional services primarily serving industrial and business clients and other industry focused uses and limited retail and commercial professional services that cater to the general public.

Permitted Uses

4.0320 Permitted Uses

Table 4.0320 lists those uses that are permitted in each Industrial District.

• P = Permitted use

• L = Use is permitted, but is limited in the extent to which it may be permitted

• NP = Use not permitted

• SUR = Use permitted subject to a Special Use Review

Each of these uses must comply with the land use district standards of this section and all other applicable requirements of the Community Development Code.

Table 4.0320: Permitted Uses in the Industrial Land Use Districts

City of Gresham Development Code (10/16)
[4.03]-2
USES HI GI RESIDENTIAL Single-Family Detached Dwelling NP NP Duplex NP NP Single-Family Attached Dwellings NP NP Attached Dwellings on a Single Lot NP NP Elderly Housing NP NP Manufactured Dwelling Park NP NP Residential Facility NP NP Residential Home NP NP COMMERCIAL Auto-Dependent Use NP NP Business and Retail Service and Trade L1 L1 Clinics L1 L1 Commercial Parking NP NP Daycare Facilities SUR SUR Live-Work NP NP Major Event Entertainment SUR SUR Mini-Storage Facilities NP NP Outdoor Commercial NP NP

Notes:

1 This includes the sale of goods and materials and of professional services to the general public. Examples include restaurants, stores, mini-marts, factory outlet stores and office supplies. Examples of professional services that cater to daily general public customers include bank branches, financial, insurance, real estate, legal, medical and dental offices.

In order to ensure that these uses are primarily intended to serve the needs of workers in the immediate area the

[4.03]-3 City of Gresham Development Code (10/16) INDUSTRIAL Construction P P Exclusive Heavy Industrial Uses P NP Industrial Office L2 P Information Services NP P Manufacturing P P Miscellaneous Industrial P L3 Trade Schools NP P Transportation/Distribution P P Warehousing/Storage P P Waste Management P/SUR4 P/SUR4 Wholesale Trade NP P INSTITUTIONAL USES Civic Uses SUR SUR Community Services L/SUR5 L/SUR5 Medical NP NP Parks, Open Spaces and Trails L/SUR6 L/SUR6 Religious Institutions L/SUR7 L/SUR7 Schools L/SUR7 L/SUR7 RENEABLE ENERGY8 Solar Energy Systems P9 P9 Wind Energy Systems L/SUR10 L/SUR10 Biomass Energy Systems L/SUR11 L/SUR11 Geothermal Energy Systems P12 P12 Hydro-Micro Energy Systems L13 L13 OTHER Basic Utilities Minor basic utilities Major basic utilities P SUR P SUR Heliports SUR SUR Wireless Communication Facilities SUR SUR Temporary, Intermittent & Interim Uses P P Marijuana Businesses L14 L14

following standards apply:

The total gross leasable square footage shall not exceed 3,000 square feet per use and shall not exceed 5,000 square feet cumulative gross leasable square footage within the same development project. For the purposes of this section, a development project is: a) a single building with less than 50,000 square feet of gross floor area that does not share common development features (such as access, parking, or utilities) with another building that has less than 50,000 square feet of gross floor area, whether or not the second building is located on the same or a different parcel or lot; or b) more than one building with less than 50,000 square feet of gross floor area that shares common development features (such as access, parking, or utilities) with another building that has less than 50,000 square feet of gross floor area, whether or not the buildings are located on the same or a different parcel or lot; or c) a single building with 50,000 square feet or more of gross floor area. Shall not be permitted in a stand-alone building and instead be included within a building whose primary purpose is for an industrial use.

2 Only administrative offices which are related to the operation of the industrial use of the property are permitted in the HI. Up to 20% of the total floor area may consist of these administrative offices. Multiple tenant office buildings are prohibited.

3 Auto and truck salvaging and wrecking are not permitted in GI. All other miscellaneous industrial uses located adjacent to properties that are residentially designated land shall be located at least 100 feet from the residential property.

4 Waste Management uses are permitted uses, except for solid waste transfer station, composting facilities, and landfills, which are subject to a Special Use Review. When located in the GI, waste management uses adjacent to residentially designated land shall be located at least 100 feet from the residential property.

5 The following Community Service Uses are not permitted in the HI and GI districts: adult or senior centers, drug and alcohol treatment facilities, cemeteries, and mausoleums.

6 The following Parks, Open Spaces, and Trails are not permitted in the HI and GI districts: public urban plazas, public neighborhood parks, public community parks, and golf courses. However, public urban plazas, public neighborhood parks, and public community parks are permitted in the HI and GI districts when an applicant demonstrates that title for the parcel(s) where the facility is to be developed was held by the governing body for the applicant as of April 2, 2009.

7 Religious institutions, elementary schools, middle schools and high schools are permitted in the HI and GI districts when an applicant demonstrates that title for the parcel(s) where the facility is to be developed was held by the governing body for the applicant as of April 2, 2009.

8 See Section 10.900 for additional standards that apply

9 For limitations, see Section 4.0332 Solar Energy System Standards for Industrial Districts

10 For limitations, see Section 4.0333 Wind Energy System Standards for Industrial Districts

11 For limitations, see Section 4.0334 Biomass Energy System Standards for Industrial Districts.

12 For limitations, see Section 4.0335 Geothermal Energy System Standards for Industrial Districts.

13 For limitations, see Section 4.0336 Micro-Hydro Energy System Standards for Industrial Districts

14 For limitations, see GRC 9.63.090

City of Gresham Development Code (10/16)
[4.03]-4

Development Standards

4.0330 Development Standards Table

Table 4.0330 summarizes development standards which apply within the Industrial Land Use Districts. The standards contained in this table are supplemented by the referenced subsections and footnotes, which provide additional clarification and guidance.

Table 4.0330 Development Standards for the Heavy Industrial and General Industrial Districts

[4.03]-5 City of Gresham Development Code (10/16)
HI GI A. Minimum Lot Size None: See Section 4.0331(A) None: See Section 4.0331(A) B Minimum Average Floor Area Ratio (FAR) None None C Minimum Building Setbacks 20 feet front & street side; 0 feet for interior side and rear 20 feet front & street side; 0 feet for interior side and rear D Minimum Building Height None None E Maximum Building Height None None F Height Transition Standards See Section 9.0600 See Section 9.0600 G. Minimum Off-Street Parking Required See Section 9.0851 See Section 9.0851 H Maximum Off-Street Parking See Section 9.0851 See Section 9.0851 I Pedestrian Circulation and Standards See Section 7.0203 See Section 7.0203 J Screening & Buffering See Section 9.0100 See Section 9.0100 K. Landscaping See Section 7.0203 See Section 7.0203 L Outdoor Uses and Outdoor Storage Uses Yes; 100% of the site area may include outdoor uses and outdoor storage associated with industrial uses Screening required, see Sections 4.0331(B) and 9.0100 Yes; no more than 50% of the site area may include outdoor uses and storage associated with industrial uses Screening required, see Sections 4.0331(B) and 9.0100 M Parking, Loading and Unloading Area Standards See Section 4.0331(C) and 9.0800 See Section 4.0331(C) and 9.0800 N External Effects See Section 4.0331(D) See Section 4.0331(D) O Mechanical Equipment Screening See Section 4.0331(E) See Section 4.0331(E) P Exterior Building Treatment See Section 4.0331(F) See Section 4.0331(F) Q. Well Field Protection See Section 4.0331(G) See Section 4.0331(G) R Public Facility Site and Supplementary Requirements See Section 4.0331(H) See Section 4.0331(H) S. Stormwater Management See Section 4.0341 See Section 4.0341

4.0331 Additional Industrial Land Use District Standards

A. Lot Area. Division of lots or parcels are permitted as follows:

1. Lots or parcels 50 acres or smaller may be divided into any number of smaller lots or parcels.

2. Undeveloped lots, parcels, or tracts larger than 50 acres in size may be divided into smaller lots, parcels, or tracts so long as the resulting land division yields at least one lot, parcel, or tract of at least 50 acres in size. If a land division results in more than one lot, parcel, or tract of 50 acres or greater in size, only one of those 50+ acre lots, parcels, or tracts, if further divided, must yield a lot, parcel, or tract of at least 50 acres in size.

3. Development lots or parcels 50 acres or larger in size may be divided into any number of smaller lots or parcels pursuant to a master plan approved by the city so long as at least 40 percent of the net area or the lot or parcel has already been developed with industrial uses or uses accessory to industrial uses, and no portion of the lot is developed, or proposed to be developed, with uses considered Business and Retail Service and Trade

4. Notwithstanding parts (2) and (3) of this subsection, any lot or parcel may be divided into smaller lots or parcels or made subject to right-of-ways for the following purposes:

a. To provide public facilities and services;

b. To separate a portion of a lot or parcel in order to protect a natural resource, to provide a public amenity, or to implement a remediation plan for a site identified by the Oregon Department of Environmental Quality pursuant to ORS 465.225:

c. To separate a portion of a lot or parcel containing a nonconforming use from the remainder of the lot or parcel in order to render the remainder more practical for a permitted use; or

d. To allow the creation of a lot for financing purposes when the created lot is part of a master planned development.

B. Outdoor Uses to be Screened

1. All outdoor storage uses shall be screened from adjacent properties by a six foot high sightobscuring fence or wall.

2. All screened or walled outdoor use and storage areas which abut a public street shall be set back a minimum of 25 feet from the property line(s). Within that setback area trees and evergreen shrubs shall be planted. The plants shall be of such a variety and arranged so as to allow only minimum gaps between foliage of mature trees and plants within four years of planting.

3. Alternate plan: an applicant may propose a reduction in the minimum setback required in (2) above to a minimum of at least 20 feet by providing a detailed plan with specifications for landscaping and screening, including plantings, fences, walls, walks, berms and other features designed to afford the degree of the desired screening. The manager may approve an alternative plan if proposed buffering and screening makes up for the lack of horizontal distance and the result minimizes any impact that the storage has to the public street.

C. Parking, Loading and Unloading Areas

1. Parking, loading and unloading areas shall not be located within the required setback.

2. No loading or unloading facilities shall be located adjacent to lands designated for residential uses or parks if there is an alternative location of adequate size adjacent to

City of Gresham Development Code (10/16)
[4.03]-6

commercial, industrial or other institutional uses.

D. External Effects

1. In the GI district, the emission of air pollutants or odorous gasses and changes in temperature detectable by the human senses without the aid of instruments at any point beyond the property line is prohibited.

2. In both the HI and GI districts, electrical disturbances which interfere with the normal operation of equipment or instruments on adjacent properties are prohibited.

3. In the GI district, except for exterior lighting, operations producing heat or glare shall be conducted entirely within an enclosed building.

4. In the GI district, loud, unnecessary, or unusual noise which endangers health, peace or safety is prohibited.

5. Prior to the City taking any action on a Type I, Type II or Type III land use application or on issuance of certificate of occupancy information sufficient to determine the degree of compliance shall be furnished by the applicant. Such request may include continuous records of operations, for periodic checks to ensure maintenance of standards, or for special surveys.

E. Mechanical Equipment

Roof mounted mechanical equipment such as ventilators and ducts for buildings located adjacent to residential districts, major arterial or standard arterial streets or transit streets shall be contained within a completely enclosed structure that may include louvers, latticework, etc. Screening shall obscure mechanical equipment at elevation.

F. Exterior Building Treatment in the GI District

In the GI District, unfinished metal structure siding shall not be the major (over 50%) exterior material. Materials such as finished metal, wood, tilt-up concrete, masonry or glass should be the primary structural siding materials.

G. Well Field Protection

Industrial and commercial development may be subject to the provisions of Gresham Revised Code Article 5.75 Well Field Protection.

H. Public Facility Site and Supplementary Requirements

All developments shall also be subject to the applicable requirements of Sections 4.0320 and 4.0341; Article 9 – Common Requirements and Appendix 5.000 - Public Facilities.

4.0332 Solar Energy Standards for Industrial Districts

Solar energy systems are limited in all industrial districts as follows:

A. Scale. Small, medium and large scale solar energy systems are permitted.

B. Type. Roof-top, flat-roof, integrated and ground-mounted solar energy systems are permitted.

C. Height. The following limitations on maximum height apply to all solar energy systems:

1. Roof-top, Flat-roof and Integrated. The solar energy systems on frames shall not exceed 10 feet above the roof height on which the system is installed.

2. Ground-mounted. Ground-mounted solar energy systems shall not exceed 20 feet in height.

D. Setbacks and Yards. Solar energy systems are not allowed in the required front or street-side

[4.03]-7

City of Gresham Development Code (10/16)

setbacks.

4.0333 Wind Energy Standards for Industrial Districts

Wind energy systems are limited in all industrial districts as follows:

A. Scale. Small, medium and large scale wind energy systems are permitted. Large scale systems require a Special Use Review when the system is:

1. Located on a building or on a site that is a historic, cultural or archeological resource; or

2. Located adjacent to residentially designated lands.

B. Type. Roof-top and ground-mounted wind energy systems are permitted.

C. Height. The following limitations on maximum height apply to all wind energy systems:

1. Roof-top. Wind energy system height shall not exceed a value equal to 45 feet above the roof top.

2. Ground-mounted. Ground-mounted wind energy systems shall not exceed 110 feet in height.

D. Setbacks and Yards. Wind energy systems are not allowed in the required front, street-side, side or rear setbacks

4.0334 Biomass Energy Standards for Industrial Districts

Biomass energy systems are limited in all industrial districts as follows:

A. Scale. Small scale biomass energy systems are permitted. Large scale systems are permitted with a Special Use Review.

B. Type. Non-hazardous biomass systems are permitted.

C. Height. Biomass energy systems shall not exceed the maximum district height limits.

D. Setbacks and Yards. Biomass energy systems are not allowed in the required front, street-side, side or rear setbacks.

4.0335 Geothermal Energy Standards for Industrial Districts

Geothermal energy systems are limited in all commercial districts as follows:

A. Scale. Small or large scale geothermal energy systems are permitted.

B. Type. Closed-loop geothermal energy systems that are not in any well field protection areas are permitted.

C. Height. Geothermal energy systems shall not exceed the maximum district height limits.

D. Setbacks and Yards. Geothermal energy systems are not allowed in the required front, street-side, side or rear setbacks, except that small geothermal heating and cooling units like heat pumps can project into the setbacks per Section 9.0900 Projections.

4.0336 Micro-Hydro Energy Standards for Industrial Districts

Micro-hydro energy systems are limited in all industrial districts as follows:

A. Scale. Small scale micro-hydro energy systems are permitted.

B. Type. In-pipe micro-hydro energy systems such as systems within water, stormwater or wastewater pipe are permitted.

C. Height. Generally the district height limits apply. However, in-pipe systems may exceed the district height limit as allowed for mechanical equipment. If supplemental equipment structures

[4.03]-8

City of Gresham Development Code (10/16)

accompany the in-pipe systems, then the district height limit would apply.

D. Setbacks and Yards. Micro-hydro energy systems contained within piping are allowed and pipe can run within the required setbacks. However, if supplemental equipment structures accompany the in-pipe systems, then the district setback limits apply

4.0341 Green Development Practices for Stormwater Management

Green Development Practices, such as rain gardens, stormwater planters, and porous pavement, manage stormwater runoff as close as possible to its source and use natural processes such as retention, infiltration, and evapotranspiration to treat and reduce the volume of stormwater runoff that drains into downstream water bodies. They are a toolbox of techniques that help a developed property mimic predevelopment natural hydrology, reducing any negative off-site impacts. Through the use of Green Development Practices local and downstream flooding impacts will be minimized and water quality and aquatic habitat will be protected to the maximum extent practicable.

When Green Development Practices are used in the public street right-of-way to manage stormwater, the street is referred to as a “Green Street”.

A. Definitions

1. Green Development Practices. Green Development Practices are defined as stormwater management techniques that utilize the processes of retention, infiltration, and evapotranspiration to treat runoff and reduce the volume of stormwater. Design standards and requirements for Green Development Practices are included in the City of Gresham’s Water Quality Manual.

2. On-Site Stormwater Management. On-site stormwater management is defined as the management of stormwater as close to the impervious source as possible. For public streets, on-site stormwater management is defined as management within the public right-of-way, also known as Green Streets.

3. Green Streets. Green Streets are streets that utilize Green Development Practices to manage stormwater. Standards for Green Street design can be found in the Public Works Standards.

B. Stormwater runoff from new or redevelopment shall be managed on-site with Green Development Practices and Green Streets to the maximum extent practicable. Green Development Practices shall be designed per the requirements set forth in the Gresham Water Quality Manual and Green Streets shall be designed per the Public Works Standards.

C. Submittal Requirements Prior to Tentative Land Division or Site Design Approval. Prior to tentative land division or site design approval, applicants for new or redevelopment must submit a stormwater management plan with the development permit application. The stormwater management plan, as required by the Gresham Water Quality Manual, shall provide details for developing in a manner consistent with this section. The stormwater management plan shall include the following:

1. The location and areas of all impervious surfaces within the future public right-of-way. Generalized assumptions for areas of impervious surfaces on future private property.

2. A table that lists the anticipated Green Development Practices for each lot within the development and overflow point. Overflow points shall either be specified as public storm pipe, weep hole to street gutter, private storm pipe, surface flow, or other.

City of Gresham Development Code (10/16)
[4.03]-9

3. All Green Street facilities shall comply with the sizing and design standards set forth in the Gresham Water Quality Manual and Public Works Standards.

4. Applicants seeking exemptions for on-site stormwater management requirements listed in this section must follow the procedures outlined in the Gresham Water Quality Manual.

D. Submittal Requirements Prior to Building Permit Approval. Prior to building permit approval, applicants for development on private property must meet Green Development Practice submittal requirements as specified in the Gresham Water Quality Manual, including the following items at a minimum:

1. The location of all Green Development Practices, shown on the permit drawings.

2. Typical cross-section for each Green Development Practice, shown on the permit drawings.

3. Piping used to direct stormwater runoff from impervious surfaces to Green Development Practices, shown on the plumbing permit drawings.

4. Form SIM facility sizing calculations from the Gresham Water Quality Manual.

5. Completed operations and maintenance agreement (Form O&M) from the Gresham Water Quality Manual. Form O&M must be recorded with the County prior to building permit approval.

E. Parking lot landscaping may be used as Green Development Practice for parking lots, if designed as provided by the Gresham Water Quality Manual.

1. Purpose: This section is enacted with the purpose of achieving multiple functions from parking lot landscaping by using it for on-site stormwater management.

2. Appropriate designs are contained in the Gresham Water Quality Manual.

3. Landscaping for stormwater management within parking lots will count towards total percentage of landscaping required on site.

F. After management in Green Development Practices, excess stormwater from private property must be discharged into an approved conveyance facility.

G. A grading or building permit may not be issued for a property unless a stormwater management plan has been approved that is consistent with this chapter.

H. Operations and maintenance requirements. The property owner, its successors or assigns, including any homeowner association, shall adequately maintain the on-site Green Development Practices according to the recorded operations and maintenance agreement.

I. Landscaping

1. This section is enacted with the goal of utilizing required landscaping for the purpose of protecting and enhancing water quality and aquatic habitat by providing for the infiltration, storage, and treatment of surface water runoff.

2. Landscaping for stormwater management will count towards total percentage of landscaping required on site.

3. Detailed landscaping requirements for Green Development Practices are included in the Gresham Water Quality Manual.

City of Gresham Development Code (10/16)
[4.03]-10

SECTION

4.0400

CORRIDOR DISTRICTS

[4.04]-1 City of Gresham Development Code (10/16)
General 4.0401 Purpose Corridor District Characteristics 4.0410 Rockwood Town Center (RTC) 4.0411 Station Centers (SC) 4.0412 Corridor Multi-Family (CMF) 4.0413 Corridor Mixed Use (CMU) 4.0414 Community Commercial (CC) 4.0415 Moderate Commercial (MC) Permitted Land Uses 4.0420 Permitted Land Uses Corridor District Standards 4.0430 Development Standards 4.0431 Lot Size and Dimensions 4.0432 Floor Area Ratio 4.0433 Setbacks 4.0434 Building Height 4.0435 Transit Design Criteria and Standards in Central Rockwood and Corridor Districts 4.0436 Commercial Uses 4.0437 Outdoor Commercial Uses 4.0439 Clear Vision Area Requirements 4.0440 Off-Street Parking for Single-Family Attached Dwellings in the Rockwood Town Center, Station Center, and Station Center (Ruby Junction Overlay) Districts 4.0441 Public Facilities and Supplementary Requirements 4.0442 Solar Energy Standards for Corridor Districts 4.0443 Wind Energy Standards for Corridor Districts 4.0444 Biomass Energy Standards for Corridor Districts 4.0445 Geothermal Energy Standards for Corridor Districts 4.0446 Micro-Hydro Energy Standards for Corridor Districts

General 4.0401 Purpose

This section of the Community Development Code implements the Central Rockwood Plan and creates districts for the city’s transit corridors. The Central Rockwood Plan originated in the Gresham 2020 Action Plan, which called for this area to accommodate intensive commercial, residential, and mixed-use development. Central Rockwood is envisioned as a Town Center, growing into a lively pedestrianoriented, transit-supportive district. Transit Corridors are made up of lands adjacent to streets with transit service, identified in Map 21, Volume IV – Transportation System Plan, of the Gresham Community Development Plan. The land use districts of both the Central Rockwood Plan and the transit corridors are designed to take advantage of the substantial public investments which have been made in transit service, and to create attractive places to live, work, shop, and recreate with less reliance on the automobile than might be found elsewhere in the community.

Corridor District Characteristics

4.0410 Rockwood Town Center (RTC)

This district encompasses the heart of Central Rockwood. It is centered on the triangle formed by E. Burnside, NE 181st Ave., and SE Stark St., but also takes in adjacent properties around the triangle. Primary uses permitted in RTC are retail commercial, services, office uses and housing. Mixed-use developments and various institutional uses (e.g. library, public meeting halls, government facilities) are also permitted. The scale and character of new development is intended to support and reinforce the image of a town center, with buildings of at least two stories, oriented to streets and pedestrians, and with parking lots behind or to the sides of buildings.

A portion of the Rockwood Town Center will be the focus of more concentrated high-density residential, office, commercial, service and institutional mixed-use development in a village type urban form. Within this area, proposals to develop attached dwellings that front on streets (multi-family and attached singlefamily dwellings) are required to have a mixed-use component along the street frontage. Mixed-use consists of commercial, office, or institutional uses or combinations thereof in combination with residential uses. This “Mixed-Use” Rockwood Town Center area consists of the “triangle” described above, and other properties which front on its abutting streets (see Appendix 9.000).

4.0411 Station Centers (SC)

This district takes in properties which are adjacent to, or within easy walking distance, of light rail stations at 162nd Avenue, 172nd Avenue, Ruby Junction (197th Ave.), and Gresham City Hall. The Station Centers district is intended to accommodate uses which are directly supportive of light rail transit. Development types permitted include retail and service businesses, offices, mixed-use projects, higher-density housing, and attached single family dwellings. Acknowledging the different character of existing land uses adjacent to the Ruby Jct. light rail station, an overlay designation here will also permit auto-dependent uses, and small-scale light industrial uses.

4.0412 Corridor Multi-Family (CMF)

This district designation is applied to properties along segments of Transit Streets. The CMF district primarily provides opportunities for moderate-density residential development, including attached

City of Gresham Development Code (10/16)
[4.04]-2

dwellings and attached single family dwellings. To help create a pleasant pedestrian environment, most new residential buildings will be oriented to public sidewalks, with parking lots behind or beside buildings. Standards will require that the scale of new housing diminish as buildings approach abutting single-family residential districts.

4.0413 Corridor Mixed Use (CMU)

This district designation is applied to certain clusters of properties along Transit Streets. In addition to moderate-density, multi-family residential uses, the CMU district permits small-scale commercial uses and mixed-use developments. Commercial businesses operating in this district will serve primarily the day-today needs of residents in nearby housing developments and neighborhoods. Design standards in Section 7.0600 for new construction and remodels which meet the thresholds described in Section 7.0003 will help to ensure that new buildings become attractive additions to existing and developing neighborhoods.

4.0414 Community Commercial (CC)

This district designation is applied to larger nodes of primarily commercial development clustered around the intersections of major and/or standard arterial streets. This district services the surrounding community with a larger trade area than the Moderate Commercial district but still has building size limitations for compatibility with the adjacent residential properties. The CC district will accommodate a wide range of community-scale commercial uses, including retail, services, and offices. This district also permits housing as a secondary use, with attached dwellings being developed in conjunction with commercial construction. New buildings will be pedestrian-oriented, with parking placed behind or beside buildings. Design Standards in Section 7.0600 for new construction and remodels which meet the thresholds described in Section 7.0003 will help to ensure that new buildings become attractive additions to existing and developing neighborhoods.

4.0415 Moderate Commercial (MC)

The MC district is applied to smaller nodes of commercial activity than the Community Commercial and is clustered around key intersections. This district is intended to function primarily as locally-oriented centers serving smaller trade areas than the Community Commercial district. Building size limitations ensure compatibility with the surrounding neighborhoods. Permitted development types include commercial retail, service, and office uses. This district also permits housing as a secondary use, with attached dwellings being developed in conjunction with commercial construction. Design Standards in Section 7.600 for new construction and remodels which meet the thresholds described in Section 7.0003 will ensure a strong pedestrian orientation for new development.

Permitted Uses

4.0420 Permitted Uses

Table 4.0420 lists those uses that are permitted in each Corridor Land Use District.

• P = Permitted use

• L = Use is permitted, but is limited in the extent to which it may be permitted

• NP = Use not permitted

• SUR = Use permitted subject to a Special Use Review

In addition to the permitted commercial land use types listed in Table 4.0420, the manager, under the Type II procedure, may permit other commercial uses which the manager finds to be supportive of, and

City of Gresham Development Code (10/16)
[4.04]-3

consistent with, the purposes of the Central Rockwood Plan (Appendix 39 of Volume 1) and Corridor Districts (Section 4.0400), and with applicable land use policies and implementation strategies of the Community Development Plan.

Table 4.0420: Permitted Uses in the Corridor Land Use Districts

City of Gresham Development Code (10/16)
[4.04]-4
USES RTC SC SC-RJ CMF CMU CC MC RESIDENTIAL1 Single-Family Detached Dwelling NP NP NP L2 NP NP NP Duplex NP P P P P NP NP Single-Family Attached Dwellings L3 P P P P NP NP Attached Dwellings on a Single Lot L3 L4 P P P L5, 6a L5, 7a Elderly Housing SUR3 SUR SUR SUR SUR SUR SUR Manufactured Dwelling Park NP NP NP NP NP NP NP Residential Facility P3 P P P P L5, 6a L5, 7a Residential Home NP NP NP L2 NP NP NP COMMERCIAL Auto-Dependent Use L8 NP P NP L9 L6a, 6b L7a, 7b Business and Retail Service and Trade P L10 P NP L9 L6a, 6b L7a, 7b Clinics P L10 P NP L9 L6a, 6b L7a, 7b Commercial Parking SUR SUR SUR SUR SUR SUR SUR Daycare Facilities P L10 SUR SUR P P P Live-Work P P P NP P P P Major Event Entertainment SUR SUR SUR NP SUR SUR SUR Mini-Storage Facilities NP NP NP NP NP NP NP Outdoor Commercial NP NP L11 NP L11 L6a, 6b L7a, 7b INDUSTRIAL Construction NP NP L12 NP NP NP NP Exclusive Heavy Industrial Uses NP NP NP NP NP NP NP Industrial Office NP NP NP NP NP NP NP Information Services NP NP NP NP NP NP NP Manufacturing NP NP NP NP NP NP NP Miscellaneous Industrial NP NP NP NP NP NP NP Trade Schools NP NP NP NP NP NP NP Transportation/Distribution NP NP NP NP NP NP NP Warehousing/Storage NP NP NP NP NP NP NP Waste Management NP NP NP NP L/SUR13 L/SUR 13 L/SUR 13 Wholesale Trade NP NP NP NP NP NP NP INSTITUTIONAL USES Civic Use SUR SUR SUR SUR SUR SUR SUR

Table 4.0420 Notes

1 Temporary health hardship dwellings may be permitted with a pre-existing single-family detached dwelling home.

2 Permitted only along the NE Glisan and NE 162nd Avenue corridors. Detached dwellings in the CMF district shall conform with development standards of Table 4.0130 for the TLDR district.

3 Within the area identified on the Appendix 9.000 map (Rockwood Town Center Mixed Use Area), all buildings on Stark shall have non-residential uses at the ground floor frontages with primary entries on Stark. In a mixed use building, residential uses are allowed above and behind the non-residential uses on Stark.

Ground floor residential uses on Burnside within the area identified on the Appendix 9.000 map (Rockwood Town Center Mixed Used Area) shall have individual entries oriented to Burnside and located above grade a minimum of 4 feet and a maximum of 9 feet. Windows into living areas for ground floor residential uses shall be sited for privacy. Except for Section 7.0210(A)(4) and (5), Transit and Pedestrian Design Criteria and Standards of Section 7.0210 shall apply to all residential development with frontage on Burnside within the RTC district. All other applicable design and development criteria in this code shall apply.

4 New Attached Dwellings on a Single Lot shall be developed as a mixed use project when the subject parcel fronts East Burnside and is within 500 feet of the center lines of the intersections of East Burnside and 162nd, 172nd or 197th Avenues. A development proposal may be exempted from this standard upon an affirmative finding that the street frontage has insufficient dimensions, such as in the case of flag lots or irregular shaped parcels, whereby it is physically impracticable to develop commercial or institutional uses. Housing developed for persons with special needs is exempted from the mixed use requirement. This is housing for persons with “special needs” consistent with the definition of the most recent “Consolidated Action Plan” as approved by the US. Department of Housing and Urban Development.

[4.04]-5 City of Gresham Development Code (10/16) USES RTC SC SC-RJ CMF CMU CC MC Community Services SUR SUR SUR SUR SUR SUR SUR Medical SUR SUR SUR SUR SUR SUR SUR Parks, Open Spaces and Trails L/SUR14 L/SUR14 SUR SUR SUR SUR SUR Religious Institutions P P P SUR P L6a, 6b L7a, 7b Schools P/SUR18 P/SUR15, 18 P/SUR18 SUR18 P/SUR18 P/SUR18 P/SUR18 RENEWABLE ENERGY19 Solar Energy Systems L/SUR20 L/SUR20 L/SUR20 L/SUR20 L/SUR20 L/SUR20 L/SUR20 Wind Energy Systems L/SUR21 L/SUR21 L/SUR21 L/SUR21 L/SUR21 L/SUR21 L/SUR21 Biomass Energy Systems L22 L22 L22 L22 L22 L22 L22 Geothermal Energy Systems L/SUR23 L/SUR23 L/SUR23 L/SUR23 L/SUR23 L/SUR23 L/SUR23 Micro-Hydro Energy Systems L24 L24 L24 L24 L24 L24 L24 OTHER Basic Utilities Minor basic utilities Major basic utilities P SUR P SUR P SUR P L/SUR16 P SUR P SUR P SUR Heliports17 SUR NP NP NP NP SUR NP Wireless Communication Facilities SUR SUR SUR SUR SUR SUR SUR Temporary, Intermittent & Interim Uses P P P P P P P Marijuana Businesses NP NP NP NP NP L25 L25

5 May be permitted in conjunction with mixed use developments. Such developments are permitted provided they remain primarily non-residential. This is achieved by having: 1) at least 51% of the site’s ground floor uses be commercial or institutional uses; and 2) at least 75% of the linear street footage be fronted by a ground floor commercial or institutional use. The street frontage requirement only applies to a street classified as principal arterial, major arterial, standard arterial or boulevard. The 75% standard does not apply to those parts of street not fronted by a building due to a driveway or other site element required by the Development Code, such as a required buffer or height transition area.

6 Community Commercial. a) The maximum building footprint size permitted for any building, regardless of the type of uses within it, shall be 100,000 square feet; and b) The maximum total building size (floor area) for commercial uses shall be 100,000 sq. ft.

7 Moderate Commercial. a) The maximum building footprint size permitted for any building, regardless of the type of uses within it, shall be 40,000 square feet with an exception for a maximum building footprint size of 60,000 square feet for a grocery store use; b) The maximum total building size (floor area) for commercial uses shall be 80,000 sq. ft.

8 In the Town Center district, Auto-Dependent Uses are limited to sites fronting on standard, major or principal arterial streets.

9 The maximum building footprint size permitted for any building occupied entirely by a commercial use or uses shall be 20,000 square feet. For mixed use buildings, the residential and commercial components shall comply with the standards of Section 7.0103(B)(1)(d)(2).

10 A commercial use permitted in the Station Center district (except for the Ruby Junction Overlay) must be located on a parcel of which some portion is within 500 feet of the intersection of the centerlines of East Burnside / 162nd, or East Burnside / 172nd, or East Burnside / 197th Ave, or East Burnside / 181st, or within ¼ mile of the intersection of the centerlines of Division Street / Eastman Parkway or Division Street / Kelly Avenue.

11 The maximum site size for a new Outdoor Commercial use is 2 acres. Certain types of Outdoor Commercial Uses may be prohibited. See Section 4.0437

12 Any industrial use shall be limited to a maximum of 45,000 square feet of gross floor area. In addition, any new industrial use shall employ at least one person per 500 square feet of gross floor area. An applicant for design review for a new industrial use shall submit documentation as part of the application demonstrating conformance with this employee density requirement. Industrial developments are subject to standards pertaining to GI in Sections 4.0330 and 4.0331.

13 Solid waste transfer stations, composting facilities, and landfills may pursue approval through the Special Use Review process. When located in the Corridor Districts, waste management uses adjacent to residentially designated land shall be located at least 100 feet from the residential property.

14 Golf courses are not permitted through a Special Use Review.

15 Schools are permitted in the SC district if they are located on a parcel of which some portion is within 500 feet of the intersection of the centerlines of East Burnside / 162nd, or East Burnside / 172nd, or East Burnside / 197th Ave, or East Burnside / 181st, or within ¼ mile of the intersection of the centerlines of Division Street / Eastman Parkway or Division Street / Kelly Avenue. If they are not within this area, they are subject to a Special Use Review.

16 Electrical generating facilities are not permitted through the Special Use Review process.

17 Permitted as an accessory use to Medical and Civic Uses through the Special Use Review process.

18 Schools are permitted without a Special Use Review if they are occupying an existing commercial space. Schools must pursue a Special Use Review if they are proposing new construction.

19 See Section 10.0900 for additional standards that apply

20 For limitations, see Section 4.0442 Solar Energy Standards for Corridor Districts.

21 For limitations, see Section 4.0443 Wind Energy Standards for Corridor Districts.

22 For limitations, see Section 4.0444 Biomass Energy Standards for Corridor Districts.

23 For limitations, see Section 4.0445 Geothermal Energy Standards for Corridor Districts.

24 For limitations, see Section 4.0446 Micro-Hydro Energy Standards for Corridor Districts.

25 For limitations, see GRC 9.63.090

City of Gresham Development Code (10/16)
[4.04]-6

Corridor District Standards

4.0430 Development Standards

Table 4.0430, below, summarizes development standards which apply in the Corridors Districts. The standards contained in this table are supplemented by referenced subsections which provide additional clarification or guidance. Furthermore, the regulations of Section 7.0600 Corridor Design District Commercial Design Guidelines and Standards and Section 7.0500 Rockwood Design District Design Guidelines and Standards shall also apply.

4.0430 Development Requirements For Corridor Districts Corridor Mixed-Use Community Commercial Moderate Commercial

Rockwood Town Center

square feet for residential; none for commercial, institutional, mixed-use, & industrial8, 10

Multi-

10,000

sq. ft.8, 10

B. Minimum Street Frontage (Section 4.0431) 100

for residential; 11, 14

C. Minimum Lot Width/ Depth Ratio (Section 4.0431)

.5 : 1 for residential; none for commercial, institutional and mixed use8

square feet for residential; none

100 feet for residential; none for commercial, institutional and mixed use11, 14

.5 : 1 for residential; 8 .5 : 1 for residential; none for commercial, institutional and mixed use8

.5 : 1 .6 : 1 .6 : 1 for commercial, institutional and mixed-uses; none for industrial

None None,

except .4 : 1 in Central Rockwood Plan

Area13

.4 : 1 in Central Rockwood Plan

D. Minimum Floor Area Ratio (FAR) (Section 4.0432) None,

City of Gresham Development Code (10/16)
[4.04]-7
Corridor
Table Family
Station Centers Station Center (Ruby Jct. Overlay)
10,000
A. Minimum Lot Size (Section 4.0431) for
10,000 square feet for residential; none for commercial, institutional and mixed-use8 None None
10,000 square feet for residential; none for commercial, institutional and mixed-use8, 10
10,000
commercial, institutional and mixeduse8, 10
100 feet for residential; none for commercial, institutional and mixed use14
100 feet for residential; none for commercial, institutional and mixed use11, 14 None None
100
feet for residential; none for commercial, institutional, mixed use, & industrial11, 14
feet
.5 : 1 for residential; none for commercial, institutional and mixed use8
.5 : 1 for residential; none for commercial, institutional, mixed use, & industrial8 None None
None, except
Area13
except .4 : 1 in Central Rockwood Plan Area13

Table 4.0430 Development Requirements For Corridor Districts

Station Centers Station Center (Ruby Jct. Overlay)

Family

G. Minimum Building Setbacks

0 feet front, side and rear for commercial, mixed-use, and institutional uses;

5 feet front and street-side, 0 feet interior side, 15 feet rear for residential1, 16

units per acre for attached single-family dwellings;

24 units per acre for attached dwellings 18

18

units

for attached single-family dwellings;

0 feet front, side and rear for commercial, mixed-use, and institutional uses;

5 feet front and street-side, 0 feet interior side, 15 feet rear for residential1, 16

0 feet front, side and rear for commercial, mixed-use, and Institutional uses;

5 feet front and street-side, 0 feet interior side, 15 feet rear for residential1, 16 For industrial uses, see Table 4.0330 1

5 feet front; 15 feet rear;

0 feet interior side;

5 feet streetside1

5 feet front; 15 feet rear; 0 feet interior side; 5 feet streetside1

0 feet front, side and rear, including streetside

0 feet front, side and rear, including streetside

City of Gresham Development Code (10/16)
[4.04]-8
Corridor Multi-
Rockwood Town Center Corridor Mixed-Use Community Commercial
Moderate Commercial
E. Minimum Residential Net Density
acre
24 units
acre
(See definition of Net Density in Article 3) dwellings
18 units per acre for attached single-family dwellings; 20 units per acre for attached dwellings 12 units per acre 12 units per acre 12 units per acre 12 units per acre
per
per
for attached
F. Maximum Residential Net Density
(See definition of Net Density in Article 3) 60 units per acre 60 units per acre 24 units per acre 24 units per acre 40 units per acre 40 units per acre
Unlimited inside Stark/ Burnside/ 181st Avenue Triangle; 40 units per net acre elsewhere
(Section 4.0433 and Section 7.0500)

Table 4.0430 Development Requirements For Corridor Districts

H. Maximum Building Setbacks (Section 4.0433)

Residential: 20 feet front; None for interior side and rear; 20 feet streetside3a

J. Transit Design Criteria and Standards Apply (Section 4.0435)

Station Centers Station Center (Ruby Jct. Overlay) Corridor Mixed-Use Community Commercial Moderate

20 feet front; None for rear and interior side; 20 feet for street-side3a

For residential, commercial, institutional and mixed-use: 20 feet front; none for rear and interior side; 20 feet for streetside.3a

No maximum for industrial uses.

20 feet front; None for rear and interior side; 20 feet for street-side3a

20 feet front; None for rear and interior side; 20 feet for streetside3a

10 feet front; None for rear and interior side; 10 feet for street-side3b, 3c

Commercial

10 feet front; None for rear and interior side; 10 feet for streetside3b, 3c

10 stories in Outside Triangle

and

80 feet elsewhere15

Yes7 Yes7 Yes7 Yes7 Yes7 Yes Yes

City of Gresham Development Code (10/16)
[4.04]-9
Rockwood Town Center Corridor MultiFamily
Commercial, Institutional & Mixed-Use: 10 feet front and streetside2 None for interior side and rear.
I. Maximum Building Height (Section 4.0434) 10 stories in Outside Triangle Area and 80 feet elsewhere15
Inside the Triangle Area: commercial and institutional: 6 stories; Buildings that include other uses: 4 stories; Outside the Triangle Area: 10 stories for all uses.15 45 feet 45 feet 45 feet 45 feet
Area

Table 4.0430 Development Requirements For Corridor Districts

[4.04]-10 City of Gresham Development Code (10/16)
Rockwood Town Center Station Centers Station Center (Ruby Jct. Overlay) Corridor MultiFamily Corridor Mixed-Use Community Commercial Moderate Commercial K. Minimum Off-Street Parking Required None required for commercial uses; 1 space/ unit for residential;9 1 space per 1,000 square feet of building floor area or the minimum in Table 9.0851, whichever is less, for Institutional; 17 All other uses see Section 9.0851. None required for commercial; 1 space/ unit for residential9 All other uses see Section 9.0851. None required for commercial; 1 space/ unit for residential9; all other uses as provided in Section 9.0851. As provided in Section 9.0851 As provided in Section 9.0851 As provided in Section 9.0851 As provided in Section 9.0851 L. Maximum Off-Street Parking Permitted 2 spaces/ unit for residential4, 5; all other uses see Section 9.0851 1.5 spaces/ unit for residential4, 5; all other uses see Section 9.0851 1.5 spaces/ unit for residential4, 5; all other uses see Section 9.0851 As provided in Section 9.08514 As provided in Section 9.08514,5 As provided in Section 9.08515 As provided in Section 9.08515 M. Screening and Buffering Required No, except where abutting LDR-5, LDR-7, TR, TLDR, CMF, or CMU12 No, except where abutting LDR-5, LDR-7, TR, TLDR, CMF, or CMU12 No, except where abutting CMF, and for auto-dependent commercial, outdoor commercial and industrial uses12 Yes12 Yes12 Yes Yes N. Clear Vision Area Required (Section 4.0439) Yes 6 Yes 6 Yes 6 Yes Yes Yes Yes Table 4.0430 Notes: 1 Minimum setbacks for single-family attached dwellings are: (a) Front Yard: (i) Front façade = 5 feet (ii) Front Porch = 3 feet (iii) Garage = 20 feet

(b) Side Yard:

(i) Interior = 5 feet for any side of a dwelling structure that is not a common wall with another dwelling structure;

(ii) Street side (corner lot): Façade = 5 feet; Porch = 5 feet; Garage with access from street side = 20 feet.

(c) Rear Yard = 10 feet if there is no alley; 5 feet if there is an alley.

(d) Additional setbacks = see Table 7.0201(M)(3)(a).

2 A maximum front or streetside setback of up to twenty (20) feet may be permitted when enhanced pedestrian spaces and amenities are provided that comply with Section 7.0603(A)(5)(D)

3 The following setback standards apply:

a. When abutting a Principal Arterial, a Major Arterial, a Minor Arterial or Boulevard street, the maximum front or streetside setback for a building containing dwelling units is thirty (30) feet. The maximum front or streetside setback may be exceeded when enhanced pedestrian spaces and amenities are provided that comply with Section 7.0603(A)(5)(D)

b. When abutting a Principal Arterial, a Major Arterial, a Minor Arterial or Boulevard street, the maximum front or streetside setback for a building containing commercial uses is ten (10) feet. The maximum front or streetside setback may be exceeded when enhanced pedestrian spaces and amenities are provided per Section 7.0603(A)(5)(D)

c. When abutting a Collector, Community or Local streets, the maximum front or streetside setback is five (5) feet. The maximum front or streetside setback may be exceeded when enhanced pedestrian spaces and amenities are provided that comply with Section 7.0603(A)(5)(D)

4 There is no maximum parking limitation for single-family attached dwelling units.

5 For commercial uses, when included in a mixed-use development, the maximum amount of off-street parking shall be as provided in Section 9.0850 for each commercial use.

6 Conformance with clear vision standards of Section 9.0200 shall be required only for developments with direct access to an arterial street.

7 Ground floor window standards for commercial buildings on Design Streets (Section 7.0210) do not apply to residential developments.

8 Minimum lot size and lot width/depth ratio standards do not apply to lots or parcels created for single-family attached dwellings. Minimum lot dimensions for single-family attached dwelling lots are as follows:

Width at building line

Interior Lot 16 feet (lots of less than 22 feet in width shall take access from an alley or from a shared access)

Corner Lot 16 feet where it abuts an alley 25 feet where there is no alley or shared access

Depth 0 feet - all developments that include single family attached dwellings shall receive both land division approval to create lots for the single family attached dwellings as required in Section 6.0001, and design review approval as required in Section 7.0001

9 The standards of Section 4.0440 shall apply for single-family attached dwellings.

10 There is no minimum lot size requirement for duplexes in the SC, CMF and CMU districts.

11 Minimum street frontage for duplex in the SC, CMF and CMU districts is 35 feet, except corner lots shall be 40 feet as measured from the corner radius end point to the property corner.

12 Screening and buffering are not required for attached single-family dwellings abutting the LDR-5, LDR-7, TLDR, or TR District

13 The Central Rockwood Plan Area is the area shown as Central Rockwood Plan Land Use Districts on Figure 1 of Appendix 39, Volume 1 of the Gresham Community Development Plan.

14 Minimum street frontage for single family attached dwellings shall be 16 feet, except corner lots shall be 25 feet as measured from the corner radius end point to the property corner if there is an alley or shared access, and 32 feet from the corner radius end point to the property corner if there is no alley or shared access. A reduction in the minimum street frontage may be approved when the applicant can document compliance with Section 10.1520 of the Community Development Code.

City of Gresham Development Code (10/16)
[4.04]-11

15 Within the Rockwood Design District:

a. Triangle Area. For lands in the Triangle Area as described in Section 7.0501 buildings shall not exceed six stories for buildings with exclusively commercial and/or institutional uses and four stories in height for buildings that include other uses.

b. Outside Triangle Area. For lands in the Outside Triangle Area as described in Section 7.0501 buildings shall not exceed ten (10) stories in height.

See Section 7.0503(B)(6) Gateways and Prominent Façade Sections for additional building height requirements for properties at the three gateway street intersections of:

a. 181st and Burnside

b. 181st and Stark

c. Burnside and Stark

16 Within the Rockwood Design District:

a. Triangle Area. See Section 7.0503(A)(3)(C) and Section 7.0503(A)(3)(D) Building Placement and Frontage for minimum and maximum front building setbacks.

b. Outside Triangle Area. See Section 7.0503(A)(3)(C) and Section 7.0503(A)(3)(D) Building Placement and Frontage for minimum and maximum front building setbacks

17 Minimum parking standard only applies within 1,000 feet of a MAX station. The only exceptions allowed to this minimum are Sections 9.0853(C) and (E) and Sections 10.1510 and 10.1530 Institutional uses more than 1,000 feet from a MAX station, see Section 9.0851.

4.0431 Lot Size and Dimensions

A. Minimum lot size, minimum street frontage, and minimum lot width/depth ratio shall be as specified in Table 4.0430 for new development. The lot width/depth ratio shall be determined by dividing the lot width dimension by the lot depth dimension.

B. Minimum lot size, street frontage, and lot width/depth ratio standards of Table 4.0430 shall be satisfied prior to issuance of a development permit for attached dwellings.

C. Existing lots of record which do not meet the minimum lot size or street frontage standard, or the minimum lot width/depth ratio standard, may be developed with a duplex or two single-family attached dwellings, consistent with permitted uses as listed in Table 4.0420. Development permitted under this subsection is exempt from the minimum residential density standard of Table 4.0430

4.0432 Floor Area Ratio

A. The minimum floor area ratios contained in Table 4.0430 apply to non-residential and mixed-use development. Alterations to existing development are exempt from the minimum FAR standard. For mixed-use developments in areas with a minimum commercial FAR and a minimum residential density requirement, minimum FAR and residential density requirements are satisfied when consistent with the following formula:

Number Of Proposed Dwelling Units + Proposed Commercial Floor Area ≥ 1

Minimum Number Of Units Required Minimum Required Commercial Floor Area)

[4.04]-12

City of Gresham Development Code (10/16)

B. Sites that have all the following characteristics shall calculate their minimum required floor area using a site area equal to 100 feet times the site width:

1. The site width is less than 150 feet; and

2. The site depth is more than three times the site width; and

3. The site has street frontage on only one street, and that street is on the site’s shorter dimension, which is its width.

4.0433 Setbacks

Required minimum and maximum setback standards are specified in Table 4.0430 and Section 7.0500

A. Minimum setback distances shall be determined in conformance with the definition for "Setback" as specified in Section 3.0103.

B. 1. For Rockwood Town Center (RTC), Station Centers (SC) and Station Center-Ruby Junction (SC-RJ) within the Rockwood Design District see Section 7.0500. For Station Center elsewhere in the city, the following shall apply: Conformance with maximum setback distance is achieved for a commercial or mixed-use building when at least one (1) primary entrance located on the façade facing the street is placed no farther from the property line than the distance specified for Maximum Building Setback in Table 4.0430. Maximum building setbacks may be exceeded when a development incorporates enhanced pedestrian spaces and amenities in the setback area. Enhanced pedestrian spaces and amenities consist of features such as plazas, arcades, courtyards, outdoor cafes, widened sidewalks, benches, shelters, street furniture, public art, or kiosks. In addition, on sites with more than one building, the maximum setback may be exceeded for commercial, mixed-use, and residential buildings containing three (3) or more dwelling units, provided conformance is achieved with the maximum setback distance for at least one (1) building. For single-family attached residential buildings, conformance also must be achieved with building orientation standards of Section 7.0201(E)

2. For commercial developments in Corridor Mixed-Use (CMU), Community Commercial (CC), and Moderate Commercial (MC), see Section 7.0600.

3. For mixed-use developments and attached residential dwellings on a single lot in all districts, see Section 7.0100.

C. Setback standards for single family attached dwellings are in Table 7.0201(L)(3)(a).

4.0434 Building Height

Maximum building heights are specified in Table 4.0430. Any required building story must contain a habitable floor.

A. In addition to conforming with the Ground Floor Windows requirement of Section 7.0210, for any new commercial or mixed-use building of more than one story, at least twenty percent of the upper facade area shall be made up of display areas or windows for all facades facing a street, except those developments subject to the Corridor Commercial Design Standards of Section 7.0600 and those subject to the Rockwood Design Standards of Section 7.0500, and those subject to Plan District requirements such as the Downtown Plan District

B. The maximum building height for any building containing dwelling units shall be reduced when located adjacent to an LDR-5, LDR-7, TLDR, or TR District, as provided in Section 7.0201(J)

C. Heights of single-family attached dwelling buildings are identified in Table 7.0201(L)(3)(g).

City of Gresham Development Code (10/16)
[4.04]-13

4.0435 Transit Design Criteria and Standards in Central Rockwood and Corridor Districts

The Central Rockwood Plan and Corridor districts are pedestrian districts. As such, new development must have a strong orientation to the pedestrian and be transit-supportive, as well as enhance the appearance and functioning of these districts. In order to achieve these purposes, the provisions of Section 7.0500 apply to development within the Rockwood Design District. Additionally, the provisions of Section 7.0210(B)(8) and 7.0210(B)(10)(b) apply to new development requiring design review approval in the Rockwood Design District. Section 7.0103 and 7.0201 apply to new residential and mixed-use (residential) development. Section 7.0202 applies to new commercial and mixed-use (commercial) development requiring design review approval that is not in the Corridor Design District. Section 7.0203 applies to new industrial development requiring design review approval. Section 7.0600 Corridor District Commercial Design Guidelines and Standards applies to all commercial development in the Corridor Design District. Section 7.0210(A) applies in addition to other applicable standards and criteria to all developments except to those commercial developments in the Corridor Design District. Additionally, the provisions of Section 7.0210(B) apply to new development requiring design review approval in the Station Center outside the Rockwood Design District.

4.0436 Commercial Uses

A. At least 85% of business activities in connection with commercial uses permitted in Table 4.0420 shall be conducted within a completely enclosed structure, except for outdoor commercial uses. No more than 15% of the area devoted to buildings may be used for outdoor business activities, product display, or storage. However, in the Rockwood Town Center, the Station Center district, and the Corridor Mixed-Use district, the amount of site area used for outdoor business activities, product display, or storage may be up to 50% of the amount of floor area on the site.

B. No outdoor business activities, product display or storage shall be located within yard setback or buffering and screening areas. Areas devoted to on-site outdoor business activities, product display or storage shall be located so that they do not interfere with pedestrian circulation.

4.0437 Outdoor Commercial Uses

A. Outdoor commercial uses may be permitted in the Station Center (Ruby Junction Overlay) District or the Corridor Mixed-Use District as indicated in Table 4.0420, subject to the following limitations:

1. Total site size for any new outdoor commercial use shall not exceed two acres.

2. The amount of total site area covered by buildings shall amount to no less than 25% of the amount of site area used for outdoor storage or display.

3. Except for buildings used entirely for storage associated with the business, the maximum front or streetside setback for any building shall be 20 feet.

4. Screening shall be provided along any portion of the site’s street frontage which is not occupied by a building, in a manner which satisfies provisions of Section 9.0823(C)(3)

B. The following types of outdoor commercial uses shall be prohibited within the Station Center (Ruby Junction Overlay) District and the Corridor Mixed-Use District:

1. Vehicle sales lots;

City of Gresham Development Code (10/16)
[4.04]-14

2. Mobile home or manufactured home sales, service, or storage;

3. Recreational vehicles sales service, or storage.

4.0439 Clear Vision Area Requirements

New development in the Town Center District, in the Station Centers District, and in the Ruby Junction Overlay is exempt from the provisions of Section 9.0200 - Clear Vision Area, except where the development has direct access to a major arterial or standard arterial street.

4.0440 Off-street Parking for Single-Family Attached Dwellings in the Rockwood Town Center, Station Center, and Station Center (Ruby Junction Overlay) Districts

A. One space per dwelling unit. Each parking space shall be at least 8.5 feet wide by 18 feet deep.

B. Tandem (end-to-end) parking is allowed.

C. A maximum of one required parking space per unit may be located in a driveway in the front or street side yard setback or in the rear yard setback when there is an alley.

D. Driveways shall have minimum width of 10 feet.

E. Curb cuts shall meet all of the requirements contained in Section A5.400.

4.0441 Public Facilities and Supplementary Requirements

All developments shall also be subject to the applicable requirements of Section 4.0430 - Site Development Standards; Article 9 - Common Requirements; and Appendix 5.000 - Public Facilities Standards.

4.0442 Solar Energy Standards for Corridor Districts

Solar energy systems are limited in all Corridor districts as follows:

A. Scale. Small and medium scale solar energy systems are permitted in these districts. Large scale systems are permitted with a Special Use Review.

B. Type. Roof-top, flat-roof, integrated and ground-mounted solar energy systems are permitted.

C. Height. The following limitations on maximum height apply to all solar energy systems:

1. Roof-top, Flat-roof and Integrated.

a. For roofs that are flat or the horizontal portion of mansard roofs, the solar energy systems on frames shall not exceed 10 feet above the roof height on which the system is installed.

b. For pitched, hipped or gambrel roofs, the solar energy system panels shall not exceed 18 inches in height from the surface of the roof on which the system is installed.

2. Ground-mounted. Ground-mounted solar energy systems shall not exceed 20 feet in height.

D. Setbacks and Yards. Solar energy systems are not allowed in the required front or street-side setbacks.

City of Gresham Development Code (10/16)
[4.04]-15

4.0443 Wind Energy Standards for Corridor Districts

Wind energy systems are limited in all Corridor districts as follows:

A. Scale. Small and medium scale wind energy systems are permitted in these districts. Large scale systems are permitted with a Special Use Review.

B. Type. Roof-top and ground-mounted wind energy systems are permitted.

C. Height. The following limitations on maximum height apply to all wind energy systems:

1. Roof-top. Wind energy system height shall not exceed a value equal to the building height when the building height is 45 feet or less. For example, a 20 foot tall building could have a 20 foot tall wind energy system installed on its roof for a total height of 40 feet from the ground to top of the wind energy system. For buildings which exceed 45 feet in height, the wind energy system shall not exceed 45 feet maximum. For example, a 60-foot tall building could have a 45-foot tall wind energy system installed on its roof for a total height of 105 feet from the ground to the top of the wind energy system.

2. Ground-mounted. Ground-mounted wind energy systems shall not exceed 45 feet in height. The height limit of 45 feet can be exceeded up to 110 feet with a Special Use Review.

D. Setbacks and Yards. Wind energy systems are not allowed in required front, street-side, side or rear setbacks, and are not allowed in the front or street-side yards between the building and the street.

4.0444 Biomass Energy Standards for Corridor Districts

Biomass energy systems are limited in all Corridor districts as follows:

A. Scale. Small scale biomass energy systems are permitted.

B. Type. Non-hazardous biomass systems are permitted.

C. Height. Biomass energy systems shall not exceed the maximum district height limits.

D. Setbacks and Yards. Biomass energy systems are not allowed in the required front, street-side, side or rear setbacks, and are not allowed in the front or street-side yards between the building and the street.

4.0445 Geothermal Energy Standards for Corridor Districts

Geothermal energy systems are limited in all Corridor districts as follows:

A. Scale. Small scale geothermal energy systems are permitted. Large scale systems are permitted with a Special Use Review.

B. Type. Closed-loop geothermal energy systems that are not in any well field protection areas are permitted.

C. Height. Geothermal energy systems shall not exceed the maximum district height limits.

D. Setbacks and Yards. Geothermal energy systems are not allowed in the required front, street-side, side or rear setbacks, except that small geothermal heating and cooling units like heat pumps can project into the setbacks per Section 9.0900 Projections.

[4.04]-16

City of Gresham Development Code (10/16)

4.0446 Micro-Hydro Energy Standards for Corridor Districts

Micro-hydro energy systems are limited in all Corridor districts as follows:

A. Scale. Small scale micro-hydro energy systems are permitted.

B. Type. In-pipe micro-hydro energy systems such as systems within water, stormwater or wastewater pipe are permitted.

C. Height. Generally the district height limits apply. However, in-pipe systems may exceed the district height limit as allowed for mechanical equipment. If supplemental equipment structures accompany the in-pipe systems, then the district height limit would apply.

D. Setbacks and Yards. Micro-hydro energy systems contained within piping are allowed and pipe can run within the required setbacks. However, if supplemental equipment structures accompany the in-pipe systems, then the district setback limits apply

[4.04]-17 City of Gresham Development Code (10/16)
[4.04]-18 City of Gresham Development Code (10/16)

SECTION 4.1000 PLAN DISTRICTS

General

4.1000 Enabling Legislation

General

4.1000 Enabling Legislation

A. A Plan District may be designated when the city finds that conditions within a specific area are such that unique planning and regulatory tools are required to achieve desired results. A Plan District designation may be warranted based on specific land use, economic, transportation, public facilities, historic, or natural conditions found to exist in the area. Plan District designation provides a means to create or modify development districts and standards in ways which address specific opportunities and problems within the plan area. These new or modified development districts and standards are not transferable to properties outside the boundaries of the established Plan District. The Plan District designation is generally not intended to be applied to small areas or to small individual properties.

B. Except as provided in Section 4.1000(E), a Plan District shall be established, amended, or removed at the initiative of the Planning Commission or the City Council through the Type IV legislative procedure. In establishing a Plan District, findings satisfying all of the following criteria must be made:

1. The area proposed for the Plan District designation is generally affected by special characteristics or problems of a land use, economic, transportation, public facilities, historic, natural, or transitional use or development nature which are not common to other areas of the city.

2. Existing development districts and standards applying in the area are inadequate to achieve goals and implementation strategies of the Community Development Code, or to address an identified problem in the area.

3. The proposed Plan District designation is the result of a study or plan which documents the special characteristics of the study area and includes measures to address the relevant issues.

4. Any proposed policies, procedures, development standards, or other measures to be implemented are in conformance with the purposes, findings and recommendations of the study or plan which serves as the basis for the Plan District.

5. The Plan District designation, and related policies, procedures, standards, and other measures are consistent with applicable policies and implementation strategies of the Community Development Code, and with any applicable locational criteria identified in the Community Development Code.

[4.10]-1 City of Gresham Development Code (5/09)

C. Provisions of the Plan District may modify existing standards and procedures of the Community Development Code. The Plan District provisions may also apply additional requirements or allow exceptions to general regulations. Where there is a conflict between the provisions of the Plan District and those of other portions of the Community Development Code, the Plan District provisions control.

D. The location and boundaries of each Plan District shall be shown on the Community Development Plan Map.

E. Within the boundaries of a Plan District, the sub-district designation of any site or small group of sites may be changed to that of a different sub-district already existing within that Plan District. Any such proposal shall be processed under the Type III procedure for Community Development Plan Map Amendments, as provided in Section 12.0001. In seeking such an amendment, an applicant shall demonstrate that the proposed change is consistent with the purposes, findings, and recommendations of the study or plan which serves as the basis for the Plan District, and that the proposed change will not have a negative impact on existing or planned public facilities and services.

F. Plan District designation may be removed from all or a portion of a Plan District through the Type IV legislative procedure. Any such action shall be initiated by the Planning Commission or the City Council, and shall be based on a new study or plan containing findings which satisfy all of the criteria of Section 4.1000(B). The new study or plan shall also provide for new land use district designations and development regulations for the affected area in the form of a new Plan District designation or through the application of conventional land use district designations.

G. Policies, procedures, standards, and other measures applying within a Plan District may be amended through the Type IV legislative procedure. Any such amendment intended to apply exclusively within a Plan District shall be initiated by the Planning Commission or the City Council, and shall be based on findings demonstrating that it is consistent with the purposes, findings, and recommendations of the plan or study which serves as the basis for that Plan District. This subsection does not apply to general legislative amendments that will be applied broadly to areas of the city at large, both within and outside of a Plan District.

[4.10]-2 City of Gresham Development Code (5/09)

SECTION 4.1100

DOWNTOWN PLAN DISTRICT DESIGN MANUAL

Section 4.1100 Downtown Plan District Design Manual is contained in a separate document entitled Section 4.1100

[4.11]-1 City of Gresham Development Code (7/09)
[4.11]-2 City of Gresham Development Code (7/09)

SECTION 4.1200

CIVIC NEIGHBORHOOD PLAN DISTRICT

[4.12]-1 City of Gresham Development Code (10/16)
General 4.1201 Purpose Civic Neighborhood Sub-Districts Characteristics 4.1210 Transit Development District - Medium Density - Civic (TDM-C) 4.1211 Transit Development District - High Density - Civic (TDH-C) 4.1212 High-Density Residential - Civic (HDR-C) 4.1213 Moderate-Density Residential - Civic (MDR-C) Permitted Uses 4.1220 Permitted Land Uses Civic Neighborhood Sub-District Standards 4.1230 Civic Neighborhood Sub-District Development Standards 4.1231 Lot Size 4.1232 Minimum Densities 4.1233 Building Height 4.1234 Setbacks 4.1235 Ground Floor Windows, Window Walls, Blank Walls, and Design 4.1236 Building Lines, Orientation and Primary Entrance 4.1237 Off-Street Parking 4.1238 Auto Dependent Uses 4.1239 Drive-Through Uses 4.1240 Site Landscaping 4.1241 Residential Open Space and Design 4.1242 Architectural Design Review Guidelines 4.1243 View Protection 4.1244 Street Requirements 4.1245 Clear Vision Area Requirements 4.1246 Signage 4.1247 Street Design Requirements 4.1248 Mixed Use Requirements Adjacent to Civic Neighborhood LRT Station and Plaza 4.1249 Adjustments to Certain Development Standards on Primary Pedestrian Streets 4.1250 Solar Energy Standards for Civic Neighborhood Districts 4.1251 Wind Energy Standards for Civic Neighborhood Districts 4.1252 Biomass Energy Standards for Civic Neighborhood Districts 4.1253 Geothermal Energy Standards for Civic Neighborhood Districts 4.1254 Micro-Hydro Energy Standards for Civic Neighborhood Districts

General 4.1201 Purpose

This section of the Community Development Code implements the Gresham Civic Neighborhood Plan District. The Gresham Civic Neighborhood Plan District is conceived as an extension of the Downtown and seeks to complement the established surrounding community. The Plan District is to become a mixeduse, transit centered neighborhood that includes uses and features associated with the center of the City. It will embody civic qualities and is likely to inspire a sense of civic pride in those who use it. In order to accomplish these purposes, four land use sub-districts are designated exclusively within the boundaries of the Civic Neighborhood Plan District. All of the sub-districts permit commercial, residential, and mixeduse developments. The sub-districts are distinguished by differences in emphasis on primary uses and intensity of development. The four land use sub-districts are designed to work together to result in a lively, prosperous neighborhood that serves as an attractive place to live, work, shop, and recreate with less reliance on the automobile than is typical elsewhere in the community. Map 4.1200A – Gresham Civic Neighborhood Land Use Sub-Districts (Appendix 38, Volume 1-Findings, Gresham Community Development Plan) shows the land use plan for the district.

Civic Neighborhood Sub-District Characteristics

4.1210 Transit Development District - Medium Density - Civic (TDM-C)

This designation affects land in the Civic Neighborhood which has good access both to existing and future light rail stations and to abutting major and standard arterial streets. Primary uses permitted include commercial, retail, and service uses occupying the ground floor area and all or a portion of the second story. Also permitted are mixed-use and multi-family developments with a minimum density of 24 units per net acre. Larger buildings are encouraged in these areas, with parking under, behind, or to the sides of buildings.

4.1211 Transit Development District - High Density - Civic (TDH-C)

This designation affects land around existing and future light rail stations in the Civic Neighborhood area. Primary uses permitted include office buildings, retail, and service uses. Also permitted are mixed-use developments and multi-family residential at a minimum density of 30 units per net acre. Larger buildings are encouraged in these areas, with parking under, behind, or to the sides of buildings. Free-standing retail uses are allowed up to 10,000 square feet of floor area.

4.1212 High-Density Residential - Civic (HDR-C)

This designation is applied to property which is within walking distance of light rail stations, but generally somewhat farther removed from the stations than the TDH-C district. Areas designated HDR-C are highdensity residential neighborhoods with a minimum of 24 units per net acre. Secondary uses include neighborhood commercial uses, smaller scale offices and neighborhood parks. Small free-standing OfficeCommercial uses are allowed within mixed-use developments, provided they do not occupy more than 50% of the residential floor area, and that minimum residential densities are met. Retail uses in freestanding buildings are not permitted, but are allowed within mixed-use buildings, provided they do not occupy more than 10,000 square feet of floor area, and that minimum residential densities are met.

4.1213 Moderate-Density Residential - Civic (MDR-C)

This designation is applied to property which is within walking distance of light rail stations and bordering

[4.12]-2 City of Gresham Development Code (10/16)

Wallula. Areas designated MDR-C are moderate-density residential uses with a minimum density of 17 units per net acre. Typical forms of housing include row houses, garden apartments, condominiums, and podium apartments. Mixed-use and neighborhood-scale commercial uses are allowed to locate within residential buildings occupying up to 100% of the ground floor area provided that minimum residential densities are met.

For purposes of this Plan District, the boundaries of the sub-districts shall be the centerline of the adjacent public rights of way depicted on the Community Development Plan Map. Any modification of the centerline of such rights of way pursuant to Section 4.1244 below shall result in a corresponding modification of the affected sub-district boundary.

Permitted Uses

4.1220 Permitted Land Uses

Table 4.1220 lists the types of land uses which are permitted in the Civic Neighborhood Plan District.

• P = Permitted use

• L = Use is permitted, but is limited in the extent to which it may be permitted

• NP = Use not permitted

• SUR = Use permitted subject to a Special Use Review

Each of these uses must comply with the land use district standards of this section and all other applicable requirements of the Community Development Code.

Table 4.1220: Permitted Uses in the Civic Neighborhood District

City of Gresham Development Code (10/16)
[4.12]-3
USES TDM-C TDH-C HDR-C MDR-C RESIDENTIAL1 Single-Family Detached Dwelling NP NP NP NP Duplex NP NP NP NP Single-Family Attached Dwellings P P P P Attached Dwellings on a Single Lot P P P P Elderly Housing SUR SUR SUR SUR Manufactured Dwelling Park NP NP NP NP Residential Facility P P P P Residential Home NP NP NP NP COMMERCIAL Auto-Dependent Use L2 L2, 3 L2 L2 Business and Retail Service and Trade L4 L 3, 4, 5 L4, 6 L4,7 Clinics P L3 L8 L7 Commercial Parking SUR SUR SUR SUR Daycare Facilities L4 L3, 4 L4 L4, 7 Live-Work P P P P

1 Temporary health hardship dwellings may be permitted with a pre-existing single-family detached dwelling home.

2 Limited to sites fronting Burnside, Eastman and Division. See Section 4.1238

City of Gresham Development Code (10/16) USES TDM-C TDH-C HDR-C MDR-C Major Event Entertainment SUR SUR SUR SUR Mini-Storage Facilities NP NP NP NP Outdoor Commercial NP NP NP NP INDUSTRIAL Construction NP NP NP NP Exclusive Heavy Industrial Uses NP NP NP NP Industrial Office NP NP NP NP Information Services NP NP NP NP Manufacturing NP NP NP NP Miscellaneous Industrial NP NP NP NP Trade Schools NP NP NP NP Transportation/Distribution NP NP NP NP Warehousing/Storage NP NP NP NP Waste Management NP NP NP NP Wholesale Trade NP NP NP NP INSTITUTIONAL USES Civic Uses SUR SUR3 SUR SUR Community Services SUR SUR3 SUR SUR Medical SUR SUR3 SUR SUR Parks, Open Spaces and Trails L/SUR9 L/SUR9 L/SUR9 L/SUR9 Religious Institutions L4 L 3, 4, 5 L4, 6 L4, 7 Schools P/SUR11 P/SUR3,11 L4,11 P/SUR11 RENEWABLE ENERGY12 Solar Energy Systems L/SUR13 L/SUR13 L/SUR13 L/SUR13 Wind Energy Systems L/SUR14 L/SUR14 L/SUR14 L/SUR14 Biomass Energy Systems L15 L15 L15 L15 Geothermal Energy Systems L/SUR16 L/SUR16 L/SUR16 L/SUR16 Micro-Hydro Energy Systems L17 L17 L17 L17 OTHER Basic Utilities Minor basic utilities Major basic utilities P SUR P SUR P L/SUR10 P L/SUR10 Heliports SUR SUR SUR SUR Wireless Communication Facilities SUR SUR SUR SUR Temporary, Intermittent & Interim Uses P P P P Marijuana Businesses NP NP NP NP
[4.12]-4
Table 4.1220 Notes

3 For Blocks A-6, A-9 and A-10, these uses shall be permitted only when minimum residential densities are met.

4 The amount of site area used for outdoor business activities, product display, or storage shall not exceed 50% of the amount of floor area on the site.

5 When included in a mixed use development, the maximum building footprint size for a free-standing building occupied by this type of use shall be 10,000 square feet. Theaters, hotels and restaurants are not subject to this size limitation and are permitted as stand-alone uses.

6 These uses are permitted only within mixed use developments and shall have a maximum size of 10,000 square feet, provided that the minimum residential densities are met.

7 When included in a mixed use building, this use may occupy up to 100% of the ground floor area. Uses with this footnote are not permitted in any mixed use development where the minimum residential density is not met.

8 This use is allowed only in mixed use developments. Clinics shall not exceed 50% of the proposed residential floor area within the mixed use development and shall be permitted only when minimum residential densities are met.

9 Golf courses are not permitted in the Civic Neighborhood Plan District.

10 Electrical generating facilities and sewage treatment plants are not permitted in the Civic Neighborhood Plan District.

11 Schools are permitted without a Special Use Review if they are occupying an existing commercial space. Schools must pursue a Special Use Review if they are proposing new construction.

12 See Section 10.900 for additional standards that apply

13 For limitations, see Section 4.1250 Solar Energy System Standards for Civic Neighborhood Districts

14 For limitations, see Section 4.1251 Wind Energy System Standards for Civic Neighborhood Districts

15 For limitations, see Section 4.1252 Biomass Energy System Standards for Civic Neighborhood Districts

16 For limitations, see Section 4.1253 Geothermal Energy System Standards for Civic Neighborhood Districts.

17 For limitations, see Section 4.1254 Micro-Hydro Energy System Standards for Civic Neighborhood Districts.

Civic Neighborhood Sub-District Standards

4.1230 Civic Neighborhood Sub-District Standards

Table 4.1230 summarizes development standards which apply within the Civic Neighborhood Plan District and which may, as provided in Section 4.1000(C), modify or replace other standards contained in the Community Development Code and implementing regulations. The standards contained in this table are supplemented by referenced subsections of Section 4.1200, which provide additional clarification and guidance. Existing developments which do not meet the standards specified for a particular sub-district may continue in existence and be altered, subject to provisions of Section 8.0200, Existing and Nonconforming Uses.

City of Gresham Development Code (10/16)
[4.12]-5

Table 4.1230 Civic Neighborhood Sub-District Development Standards

[4.12]-6 City of Gresham Development Code (10/16)
TDM-C TDH-C HDR-C MDR-C A. Minimum Lot Size (Section 4.1231) None None None None B. Minimum Average Floor Area Ratio (FAR) (Section 4.1232) 0.4:1 south; 0.6:1 north5 1.1:1 None None C. Minimum Residential Density (Section 4.1232) (See Net Acreage definition In Article 3) 24 units per net acre 30 units per net acre 24 units per net acre 17 units per net acre D. Maximum Residential Density (See Net Acreage definition In Article 3) None None None 30 units per net acre E. Minimum Building Setbacks (Section 4.1234) 0 feet 0 feet 0 feet 5 feet front; 10 feet rear; 0 ft. interior side; 5 feet street side, 20 feet from Wallula ROW F. Maximum Building Setbacks on all street frontages (Section 4.1234) 0 feet on Primary Pedestrian Streets; 5 feet on all other frontage abutting a public right of way3 0 feet on Primary Pedestrian Streets; 5 feet on all other frontage abut-ting a public right of way3 0 feet on Primary Pedestrian Streets; 5 ft. on all other frontage abut-ting a public right of way3 20 feet front; none for rear & interior side; 20 feet for street-side3 G. Minimum Building Height (Section 4.1233) 22 feet1 22 feet1 22 feet1 22 feet1 H. Maximum Building Height (Section 4.1233) 40 feet, or 80 feet maximum with built-in fire protection system 40 feet, or 80 feet maximum with builtin fire protection system 40 feet, or 80 feet maximum with builtin fire protection system6 40 feet I. Minimum Off-Street Parking Required (Section 4.1237) None required for Commercial uses 1 space/unit for residential 1 space per 1,000 square feet or the minimum in Table 9.0851, whichever Is less, for institutional7 None required for Commercial uses 1 space/unit for residential 1 space per 1,000 square feet or the minimum in Table 9.0851, whichever Is less, for institutional7 None required for Commercial uses 1 space/ unit for residential None required for Commercial uses 1 space/unit for residential J. Maximum Off-Street Parking Permitted (Section 4.1237) Residential 1½ space/ unit. Commercial2, 4 Residential 1½ space/ unit. Commercial2, 4 Residential 1½ space/ unit. Commercial2, 4 Residential 1½ space/ unit. Commercial2, 4

Table 4.1230 Civic Neighborhood Sub-District Development Standards

K. Ground Floor Window Standards Apply (Section 4.1235)

L. Screening & Buffering Required (Section 9.0100)

Table 4.1230 Notes:

1 Two story frontages are required on designated Primary Pedestrian Streets. (For purposes of the Civic Neighborhood Plan District, a Primary Pedestrian Street is a street so designated on Map 2 of Appendix 38, Volume 1 of the Community Development Plan.)

2 For mixed use developments, the total requirements for off-street parking shall be the sum of the requirements for the various uses computed separately.

3 The maximum front or streetside setback may be exceeded subject to the Manager’s approval when enhanced pedestrian spaces and amenities are provided. (See Section 4.1234).

4 See Maximum Parking Table, Section 9.0852(A).

5 A minimum FAR of 0.4:1 is required south of the MAX line; and a minimum FAR of 0.6:1 is required to the north of the MAX line

6 A maximum building height of 60 feet applies to the eastern-most tax lot of Parcel A3 fronting NW Florence Avenue and designated HDR-C.

7 Minimum parking standard only applies within 1,000 feet of a MAX station. The only exceptions allowed to this minimum are Sections 9.0853(C) and (E) and Sections 10.1510 and 10.1530 Institutional uses more than 1,000 feet from a MAX station, see Section 9.0851

4.1231 Lot Size

There is no required minimum lot size for any use within the Civic Neighborhood Plan District. Land Divisions are subject to provisions of Appendix 5.000 of the Gresham Community Development Code.

4.1232 Minimum Densities

A. Purpose. Minimum densities are a tool for achieving the intensity of development. Minimum FAR's help to ensure that the most intensive forms of building development will occur in those areas appropriate for multi-story commercial buildings and higher residential densities. The more intensive levels of development brought about by minimum FAR's close to light-rail stations also encourage increased use of light rail transit.

B. Minimum Densities Required minimum densities shall be calculated on a project by project basis, and may include multiple contiguous blocks. Each project shall meet residential or commercial density requirements. In the case of a master plan, minimum densities will be calculated on the development of the master plan area as a whole. In residential zones allowing commercial uses, minimum residential densities shall be met within each project. Projects involving part of a block shall be required to submit a master plan showing how whole block standards will be met. However, in the case of a master plan, no commercial phase shall be developed to a density of less than 75% of the required minimum FAR. A master plan may not depend on redevelopment of early phases to achieve overall minimum density requirements.

C. FAR Standard. The minimum floor area ratios contained in Table 4.1230 apply to all nonresidential building development. In mixed-use developments, residential floor space is included in the calculations of floor area ratio to determine conformance with minimum FAR.

[4.12]-7

City of Gresham Development Code (10/16)
TDM-C TDH-C HDR-C MDR-C
Yes Yes Yes Yes
N N N N

D. Transfer of Floor Area and Residential Density. In the TDH-C and HDR-C sub-districts, floor area and residential density may be transferred between sites located within either of these same sub-districts through the Type II process. The sites are not required to be abutting; however, both the sending site and receiving site must be located within the Civic Neighborhood Plan District. Floor area and residential density transfers are subject to the following:

1. Buildings on each site may not exceed the height limit established for that site by Section 4.1233.

2. Transfers from sending sites are limited to 50% of the required minimum average floor area ratio and minimum residential density applicable to that site.

3. Transfers to receiving sites are limited to 100% of the minimum floor area ratio and minimum residential density applicable to that site. Receiving sites must be developed to achieve at least the minimum floor area ratio and minimum residential density applicable to that site plus any transferred density.

4. All involved property owners must be parties to the Type II application for the density transfer.

4.1233 Building Height

A. Purpose. The minimum and maximum building height standards are used to establish appropriate scales of buildings in specific areas of the Civic Neighborhood, to achieve a pedestrian-friendly character supportive of a dense mix of residential and commercial uses. Buildings which are compatible in scale help to create a harmonious visual setting which enhances the livability of a neighborhood.

B. Minimum Height Standards. The minimum building height requirement of 22 feet is applicable to all street frontages in the Plan District, but is not applicable to parts of buildings which are not visible from streets adjacent to the building.

1. Minimum building height standards apply to new commercial and residential buildings. They do not apply to accessory structures, one-time additions or expansions of nonconforming structures of no more than 25% and less than 1,000 square feet, or buildings of less than 1,000 square feet in area.

2. Facades of at least two stories are required on designated Primary Pedestrian Streets.

3. Where two stories are required, the second story shall be designed in conformance with Section 4.1235 (B)(1)(b) and (d) for any facade which faces a public street.

C. Maximum Height Standards. Three stories or 40 feet unless equipped with built-in fire protection systems. When fire sprinklers, alarms, and when needed, enclosed, pressurized exit stairwell systems are provided, the building height may be increased to 80 feet. No increase in height above 40 feet is permitted in MDR-C sub-districts.

D. Second Story Active Uses along Primary Pedestrian Streets On Primary Pedestrian Streets north of the MAX line, the second story shall contain floor space suitable for occupancy by commercial, residential or community service use, or an atrium, and shall have a minimum depth from the Primary Pedestrian Street of 30 feet. Parking structures constructed per the requirements of Section 4.1235(B)(2) are exempt from this section. (See Section 4.1248 for mixed use requirements adjacent to the LRT station and public plaza.) Primary and Secondary Pedestrian Streets are shown on Map 4.1247A.

[4.12]-8

City of Gresham Development Code (10/16)

E. Height standards for single family attached dwellings are identified in Table 7.0201(L)(3)(f).

4.1234 Setbacks

A. Purpose. Required building setbacks are devised to complement applicable standards for building heights and floor area ratios to ensure placement of buildings in a way which creates an attractive streetscape and pleasant pedestrian environment. These regulations also assist compatibility of building scale, leading to coherent design schemes throughout the Civic Neighborhood Plan District.

B. Building Setback Standard. Required minimum and maximum setback standards are stated in Table 4.1230. These setback standards apply to buildings only.

1. Minimum setback distances shall be determined in conformance with the definition for "Setback" as specified in Section 3.0100 - Definitions

2. Conformance with maximum setback distance is achieved when no portion of a building’s primary façade(s) is farther from the adjacent property line than the distance specified for Maximum Building Setback in Table 4.1230. However, maximum building setbacks may be exceeded when a development incorporates enhanced pedestrian spaces and amenities which occupy not less than 100% of the additional setback area. Enhanced pedestrian spaces and amenities consist of features such as plazas, arcades, courtyards, lawns, outdoor cafes, widened sidewalks, benches, shelters, street furniture, public art, or kiosks. In addition, the maximum setback distance may be exceeded for purposes of complying with Section 4.1235(B)(1)(c) and (e)

3. For single-family attached dwellings with direct auto access from the street, garage entrances shall not be closer to the street property line than any other portion of the front facade of the building. Setback standards for single family attached dwellings are specified in Table 7.0201(L)(3)(a)

4.1235 Ground Floor Windows, Window Walls, Blank Walls, and Design

A. Purpose. Long expanses of blank walls facing the street or other public area severely detract from the attractiveness and perceived safety of pedestrians using those spaces. The standards of this section are intended to enhance street safety and provide a comfortable street environment by providing ground-level features of interest to pedestrians along streets. These standards also have the purpose of encouraging surveillance opportunities as buildings address abutting streets and public areas, preventing fortress-like facades, and avoiding a monotonous pedestrian environment.

City of Gresham Development Code (10/16)
[4.12]-9

B. Standards

1. All new commercial, mixed-use and institutional buildings in the Civic Neighborhood PD shall comply with the following standards for Ground Floor Windows, Window Walls and Blank Walls:

a. All development shall provide ground floor windows along street facades, in conformance with Subsection d, below. Required window areas must be either windows that allow views into working areas or lobbies, pedestrian entrances, or display windows. Required windows may have a sill no more than 4 feet above grade. Where interior floor levels prohibit such placement, the sill may be raised to allow it to be no more than 2 feet above the finished floor level, up to a maximum sill height of 6 feet above grade.

b. Darkly tinted windows and mirrored windows that block two-way visibility are prohibited as ground floor windows along street facades.

c. Where building frontage along a street is greater than 100 feet in length in the HDR-MDR, and TDH sub-districts, or greater than 200 feet in length in the TDM sub-district, elements such as bay windows and recessed entrances shall be used for pedestrian scale.

d. Except in the TDM-C sub-district, any wall which is within 30 feet of the street shall contain at least 50% of the ground floor wall area facing the street in display areas, windows, or doorways. In the TDM-C sub-district, any wall which is within 30 feet of a primary pedestrian street, and within 30 feet of a secondary pedestrian street shall contain at least 50% and 20%, respectively, of the ground floor wall area facing the street in display areas, windows, or doorways. Primary and Secondary Pedestrian Streets are shown on Map 4.1247A

e. Buildings must include changes in relief on 15% of their street facades such as cornices, bases, fenestration, fluted masonry or other treatments for pedestrian interest and scale.

2. For all new multi-level parking structures fronting a primary pedestrian street, at least 50% of such ground-floor street frontage, excluding driveway entrances and elevators, shall be designed to accommodate commercial floor space, in addition to complying with Subsection (1). For purposes of complying with Subsection (1) (a) and (d), any wall openings in a parking structure (except driveway entrances) which allow for viewing into the structure from an abutting street shall be considered the equivalent of display areas, windows, and doorways.

4.1236 Building Lines, Orientation and Primary Entrance

A. Purpose. The purpose of this section is to require buildings and entrances to be oriented to the street, with windows looking out onto and surveying the street, in order to make walking safe and direct. Requirements for orientation and primary entrances are intended to:

1. Provide for convenient, direct, and accessible pedestrian routes to and from public sidewalks and transit facilities;

2. Provide for safe, pleasant and convenient pedestrian circulation by connecting activities within a structure to the adjacent sidewalk and to nearby transit stops; and

City of Gresham Development Code (10/16)
[4.12]-10

3. Promote the use of pedestrian and transit modes of transportation to retail and commercial facilities.

B. Standards:

1. All new commercial, mixed-use, and institutional buildings in all sub-districts of the Civic Neighborhood PD shall comply with the following standards for Building Orientation and Primary Entrance:

a. All buildings shall have at least one (1) of their primary entrances face an abutting street or, if available, on a primary pedestrian street, rather than the parking area. A building may have more than one (1) primary entry, as defined in the Building Code.

b. Building entries must comply with the accessibility Standards as outlined in the Building Code.

c. Buildings shall have a primary entrance connecting directly between the street and the building interior. This entrance shall be open to the public during all business hours.

d. Primary building entrances shall be architecturally emphasized and visible from the street.

e. The minimum lighting level for building entries is 4 foot-candles. Lighting shall be a pedestrian scale 3 feet to 12 feet and the source light shall be shielded to reduce glare.

f. For building facades over 300 feet in length in the HDR, MDR, and TDH subdistricts, and over 350 feet in length in the TDM sub-district, respectively, facing a street, two or more building entrances on the street must be provided.

g. Building entrances shall incorporate arcades, roofs, porches, alcoves, porticoes and awnings that protect pedestrians from the rain and sun.

h. If the building has frontage on more than one street, the building shall provide a primary entrance facing one of the streets, or a single entrance to the corner where two streets intersect.

4.1237 Off-Street Parking

See Section 9.0800 for general parking lot design standards and submittal requirements. Parking lot location shall be in accordance with Section 9.0821. Parking space minimums and maximums shall be as determined in Table 4.1230(I) and (J), Table 4.1230(A), and Section 9.0852(A) Interim Parking is permitted in the Civic Neighborhood, when in accordance with Section 9.0860

4.1238 Auto Dependent Uses

A. Purpose:

The Civic Neighborhood Plan District is intended to function equitably for all modes. This means that most uses are designed and developed at a pedestrian scale, with ease, safety, and convenience of pedestrian movement being a primary objective. In order for this objective to be achieved, it is important to limit the number of vehicles and their movements within this district. Auto dependent uses, to the extent that they are permitted in this Plan District, are therefore limited to perimeter

[4.12]-11

City of Gresham Development Code (10/16)

sites where existing traffic volumes are already relatively high, and conflicts with pedestrian movements within the Civic Neighborhood Plan District would be minimal.

B. Auto-Dependent Uses Standard:

Auto-dependent uses are limited to sites fronting on Burnside Road, Eastman Parkway, and Division Street.

4.1239 Drive-Through Uses

A. Purpose:

Drive-through uses (defined in Section 3.0100) conflict with the safe and convenient movement of pedestrians and bicycles within the Civic Neighborhood Plan District. Drive-through uses are therefore not permitted in the Civic Neighborhood except when such use is incidental to a primary site use, and when designed in conformance with the following standards.

B. Drive-Through Uses Standards:

1. The drive-through use shall be limited to one service window which is part of a primary use structure, and to no more than two queuing lanes.

2. No curb cuts are permitted for the exclusive use of drive-through queuing or exit lanes on Burnside Road, Eastman Parkway, and Division St.

3. The drive-through service window and queuing lane(s) shall be located as far as practical from any nearby transit facility.

4.1240 Site Landscaping

A. Purpose

Some site landscaping is required in the Civic Neighborhood Plan District because it contributes to the quality and character of open spaces. It also helps to reduce stormwater runoff by reducing impervious surface area.

B. Site Landscaping Standard

There is no minimum site area landscaping requirement. For all new development in the Civic Neighborhood Plan District, any site area not developed for building, parking, or enhanced pedestrian spaces shall be improved with landscaping, as defined in Section 3.0100. Examples of enhanced pedestrian spaces include plazas, arcades, galleries, courtyards, outdoor cafes, widened sidewalks, benches, shelters, street furniture, public art, or kiosks. Street trees are required, as provided in Section 9.1000

4.1241 Residential Open Space and Design

A. Purpose

These standards ensure a minimal amount of open space for residents of all new attached dwellings on a single lot, whether as part of a mixed-use development, or as a free-standing residential development. However, to encourage greater densities and maximize efficient use of site areas, shared open spaces are not required in residential developments. Outdoor private space required in Section 7.0103 and Section 7.0201 increases the livability of neighborhoods within the Civic Neighborhood Plan District, and provides outdoor living and recreational opportunities which are immediately available to residents.

[4.12]-12

City of Gresham Development Code (10/16)

B. Required Residential Open Space

The design criteria, guidelines and standards of Section 7.0103 and Section 7.0201 shall apply to all residential developments and to dwellings within a mixed-use development, except as provided below:

1. Single-family attached dwellings are required to meet the standards of Sections 7.0201(L) and (K) and shall be exempt only from the following criteria and standards of Section 7.0201 (all other sections do apply):

a. Section 7.0201(D) (1) through (2);

b. Section 7.0201(J);

2. Dwellings in mixed-use developments shall be exempt only from the following criteria and standards of Section 7.0201 (all other sections do apply):

a. Section 7.0201(D) (1) through (2);

b. Section 7.0201(I).

4.1242 Architectural Design Review Guidelines A. Purpose

The guidelines contained in this section are intended to encourage good quality design in new building construction within the Civic Neighborhood Plan District, and are not to be construed as mandatory approval criteria. Good design results in buildings which are visually compatible with one another and adjacent neighborhoods contributing to a district which is attractive, stimulating, active, and safe. These qualities in turn contribute to the creation of a Civic Neighborhood core which facilitates easy pedestrian movement and establishment of a rich mixture of uses. A diversity of architectural styles is encouraged in the District.

B. Provisions of this section shall apply to proposals for the following types of building construction within the Civic Neighborhood Plan District:

1. New attached dwellings;

2. New commercial buildings;

3. New mixed-use buildings;

4. New institutional buildings;

5. Substantial improvement (as defined in Section 3.0103) of any of the building types specified in this subsection.

6. Structural alteration to a façade which requires a building permit.

C. Provisions of this section shall not apply to new accessory structures with less than 1,000 square feet of floor area, or to alternations of existing accessory structures with less than 1,000 square feet of floor area.

D. In addition to other application materials required for a development permit, the applicant shall submit exterior building elevation drawings for the proposed construction at a minimum scale of one-eighth inch equals one foot. These plans shall show the size, location, materials, colors, and characteristics of all proposed exterior building features. For purposes of this section, color photographs may be submitted in lieu of exterior elevations for existing buildings.

City of Gresham Development Code (10/16)
[4.12]-13

E. A development permit application for construction subject to architectural design shall be referred to the Design Commission for review. In its review, the Design Commission shall make findings and recommendations concerning conformance with the guidelines of this section. The findings of the Design Commission shall be considered advisory only, and not binding upon the applicant.

F. Review of plans by the Design Commission shall take place in accordance with Article 11.

G. General Guidelines for Architectural Design Review

1. Buildings should promote and enhance a comfortable pedestrian scale and orientation. Facades should be varied and articulated to provide visual interest to pedestrians. Within larger projects, variations in facades, floor levels, architectural features, and exterior finishes are encouraged to create the appearance of several smaller buildings.

2. Upper stories should be articulated with features such as bays and balconies.

3. To balance horizontal features on longer facades, vertical building elements, such as stairs to upper stories and building entries, should be emphasized.

4. Buildings should incorporate features such as arcades, roofs, porches, alcoves, porticoes, and awnings to protect pedestrians from the rain and sun.

5. Special attention should be given to designing a primary building entrance which is both attractive and functional. Primary entrances should be clearly visible from the street, and incorporate changes in mass, surface, or finish to give emphasis to the entrance. All building entrances and exits should be well lit.

6. Certain buildings, because of their size, purpose, or location should be given special attention in the form of ornamental building features, such as towers, cupolas and pediments. Examples of these special buildings include theaters, hotels, cultural centers, and civic buildings.

7. Buildings located at the intersection of two streets should consider the use of a corner entrance to the building.

8. Exterior building materials and finishes should convey an impression of permanence and durability. Materials such as masonry, stone, stucco, wood, terra cotta, and tile are encouraged. Windows are also encouraged, where they allow views to interior activity areas or displays. However, glass curtain walls, reflective glass, and painted or darkly tinted glass should not be used.

9. Where masonry is used for exterior finish, decorative patterns (other than running bond pattern) should be considered. These decorative patterns may include multi-colored masonry units, such as brick, tile, stone, or cast stone, in a layered or geometric pattern, or multi-colored ceramic tile bands used in conjunction with materials such as concrete or stucco.

10. Preferred colors for exterior building finishes are earthtones, creams, and pastels of earthtones. High-intensity primary colors, metallic colors, and black should be avoided.

11. All roof and wall-mounted mechanical, electrical, communications, and service equipment, including receive-only antennas greater than one meter in diameter and vent pipes, shall be removed or screened from public view by parapets, walls, fences, dense evergreen foliage, or by other suitable means.

[4.12]-14

City of Gresham Development Code (10/16)

12. For buildings designed to house most types of retail, service, or office businesses, traditional storefront elements are encouraged for any facade facing a primary pedestrian street. These elements include:

a. Front and side building walls placed within 10 feet of abutting street right-of-way boundaries;

b. Clearly delineated upper and lower facades;

c. A lower facade containing large display windows and a recessed entry or entries;

d. Smaller, regularly spaced windows in upper stories;

e. Decorative trim, such as window hoods, surrounding upper floor windows;

f. A decorative cornice near the top of the facade;

g. Piers or pilasters, typically of masonry.

13. Individual windows in upper stories should conform with the following guidelines:

a. Glass area dimensions should not exceed 5 feet by 7 feet (The longest dimension may be taken either horizontally or vertically.)

b. Windows should have trim or molding at least two inches wide around their perimeters.

14. Ornamental devices, such as molding, entablature, and friezes, are encouraged at the roofline. Where such ornamentation is present in the form of a linear molding or board, the band should be at least 8 inches wide.

15. Arbors or trellises supporting living landscape materials should be considered for ornamentation of exterior walls. Any such feature should cover an area of at least 100 square feet, and include sufficient plantings to achieve at least 30% coverage by plant materials within three years.

4.1243 View Protection A. Purpose

Views of nearby features such as the station plaza, and of distant objects such as Cascade mountain peaks contribute to the special identity of the Civic Neighborhood. Each new building will inevitably limit views from buildings and sites nearby. The purpose of this guideline is to ensure that all reasonable care is taken to avoid obstructing valued views.

B. View Protection Guidelines

No public view corridors have been designated within or across the Plan District. In siting, orienting and designing structures anywhere within the Civic Neighborhood, consideration shall be given to public and private views from within the Neighborhood and beyond, which may be affected by new construction or associated landscaping. While it is unreasonable to deny the right to develop a site because views will be affected, it is reasonable to require the applicant to consider such factors as alteration of grade, height of buildings, length of buildings, siting and orientation. Also to be considered are species and locations of trees and shrubs to be planted, and the height and transparency of fences and other structures. Applicants shall, therefore, demonstrate that minimization of view encroachment has been taken into consideration in proposed developments, provided that such consideration shall not be a basis for review of or authorization of a proposed project.

City of Gresham Development Code (10/16)
[4.12]-15

C. Special provisions for northwest portions of the site which are above the 330 foot contour are given below:

1. Purpose

The northwestern portion of the Civic Neighborhood stands atop a bluff providing an unobstructed view of Mount Hood to the east. This scenic view should be preserved in a manner benefiting all the potential uses of this area, both to enhance and to increase the desirability of those uses and the likelihood of successful development.

2. Maximizing Scenic Views Guideline

All development atop the bluff in the northwestern portion of the Civic Neighborhood shall be designed to achieve a reasonable balance between (1) taking advantage of the scenic view, if desired, and (2) permitting the scenic view to be available to other development atop the bluff. Factors to be considered in achieving this balance shall include alterations of grade, height of buildings, length of buildings, and vegetation. Vegetation, while desirable, should be limited in height so as to avoid any diminution of the scenic view.

4.1244 Street Requirements

A. Purpose

Public right of way widths and alignments are described in Section 4.1247 Street Design Requirements for the Civic Neighborhood Plan District, and are generally to be adhered to. Map 4.1247A – Functional Street Classifications, shows the Civic Neighborhood street plan. However, lateral adjustment of some streets may be allowed in order to provide greater flexibility in the configuration of development. In addition, this section provides for street and pedestrian/bicycle accessway design flexibility when specific development opportunities are realized.

B. Street Improvements and Standards

1. The Functional Street Classification plan for the Civic Neighborhood supersedes the Transportation System Plan Functional Classification Plan and is shown on Map 4.1247A, and streets, accessways and multi-use pathways shall be constructed per the standards contained in Section 4.1247

2. Gresham Civic Neighborhood Pedestrian Accessways shown on Map 4.1247A may be replaced with a Shared Street if criteria for Shared Streets are met, and the replacement is approved by the Manager

3. A Shared Street may be constructed as adjacent properties are developed at locations shown on Map 4.1247A, and per standards in Section 4.1247. Shared Streets are subject to the following criteria:

a. A Shared Street must connect at both ends with a public street;

b. Shared Streets shall be permanent public access easements;

c. If the Shared Street design is not desired or approvable, a local street shall be provided per the requirements of Section 4.1247.

d. Developments adjacent to Shared Streets are subject to the requirements of Section 4.1236 - Building Lines, Orientation and Primary Entrances.

4. If a Shared Street is proposed to replace a Pedestrian Accessway through Blocks A9-10, a GCN Pedestrian Accessway is required from NW Civic Drive to the Shared Street if the Shared Street does not extend to NW Civic Drive.

[4.12]-16

City of Gresham Development Code (10/16)

C. Standards for Street Modification

1. Public rights of way shown on the Plan Maps may be shifted by up to half the width of the right of way (30 feet) provided that all of the following conditions are satisfied:

a. All shifts shall be parallel to the mapped right-of-way center line;

b. Shifts shall not result in mis-aligned intersections within the Civic Neighborhood or across the streets which bound the neighborhood;

c. Shifts shall not affect mapped crossings or potential crossings of the light rail line.

2. The street separating Blocks G1 and G2 may be removed if a major commercial development is proposed. The development must include:

a. Ground floor retail with retail, office or residential uses above the ground floor;

b. Pedestrian access from NW Civic Drive to NW Sleret Drive, accessible to the public during normal business hours;

c. Conformance with one of the two following criteria must be met:

i. A minimum of 100,000 square feet of gross leasable area must be provided, or

ii. Significant topographic constraints exist.

D. Pedestrian/Bicycle Facilities

Pedestrian/Bicycle facilities are shown on Map 4.1247A and shall be constructed per the standards in Section 4.1247.

4.1245 Clear Vision Area Requirements

New development in the Civic Neighborhood Plan District is exempt from the Street and Railroad Clear Vision Area standards of Section 9.0200.

4.1246 Signage

A-Board signs may be permitted as provided in Appendix 6.000. The regulations of Section A6.000 shall be applied as follows in the Civic Neighborhood Plan District:

A. The regulations of Section A6.100 shall be applicable in the TDH-C and TDM-C sub-districts.

B. The regulations of Section A6.092 and A6.094 shall be applicable in the HDR-C sub-district.

C. The regulations of A6.094 shall be applicable in the MDR-C sub-district.

D. In all sub-districts, signage for multi-business complexes shall be regulated as provided in Section A6.101

Section 4.1247 Street Design Requirements

A. Purpose

Special street design features will support pedestrian-oriented, transit-supportive development in the Civic Neighborhood Plan District. These requirements will ensure consistent application of appropriate treatments throughout the district.

B. Standards

All new development in the Civic Neighborhood Plan District shall comply with the following standards for street design in addition to the Public Works Standards. If a conflict arises, the Civic Neighborhood Plan District Street Standards supersedes the Public Works Standards.

[4.12]-17

City of Gresham Development Code (10/16)

1. Streets

a. Five Functional Street Classifications shall apply to the Civic Neighborhood Plan District (refer to Map 4.1247A and Public Works Standards Drawings 536, 537, 538). Table 1 notes the Functional Classifications and associated streets.

Note:

* In areas where traffic volumes and/or pedestrian volumes are high, and/or in areas where a high level of conflict between automobile traffic and pedestrians are projected, the Manager may require the following right-of-way improvements as defined in the Public Works Standards, in addition to those required under Section A5.400: landscaped medians, median island pedestrian refuges, traffic calming circles, and/or other mitigation measures.

** The Manager may approve an adjustment to the sidewalk corridor and right-of-way for local streets not designated Primary Pedestrian Streets per Section 4.1247(B)(2)(c).

*** On-street parking may be eliminated on one or both sides of a Local Street when it can be demonstrated that the on-street parking conflicts with adjacent land use. If on-street parking is removed, the Local Street ROW may be reduced accordingly (7’or 14’).

b. The shared street is intended for local access only and will help assure a continuous and connected street grid pattern where a local street may not be feasible, due to topography or other factors (see Map 4.1247A). A shared street shall be one-way and must connect at both ends with a public street (Civic Neighborhood Collector or Civic Neighborhood Local).

The shared street is shared by all travel modes. It includes landscaping and may

City of Gresham Development Code (10/16)
[4.12]-18
Civic Neighborhood Boulevard Civic Neighborhood Collector Civic Neighborhood Community Street Civic Neighborhood Local Civic Neighborhood Shared Street ROW 98’ to 116’ 80’ 60’ to 80’ 60’ 40’ Easement Travel Lane 11’ 11’ 11’ 9’ 11’ one-way On-Street Parking*** 0’ or 7’ 7’ Allowed 7’ Allowed Bike Lane (both sides of street) 6’ 6’ Allowed Not required Not required Sidewalk Corridor 15’ 15’ 13’ to 15’ 13’ See Section 4.1247(B)(1)(b) Landscaped Median 12’ to 16’ As required by Manager* Not Required As required by Manager* ** Not required Streets Burnside, Division, Eastman Civic Drive, Norman, Wallula See Map 4.1247A See Map 4.1247A See Map 4.1247A
Table 1: Street Classifications

include parking, and pedestrian amenities. The typical curb and sidewalk grade changes are eliminated for a single surface. The same paving material may cover the entire street width. Interlocking-pavers are preferred and color variations to demarcate parking or other special features are encouraged. There are no conventional, straight stretches of pavement with raised curbs. Pavement and sidewalks are not rigidly demarcated. The impression that the street is divided into a separate roadway for cars and pedestrians shall be avoided (refer to Figure A11.001, Appendix 11.000).

A 40-foot public access easement shall be dedicated for a shared street. Within the 40-feet, 11-feet maximum is dedicated to an automobile pathway that may also be used by bicycles, and pedestrians. The automobile pathway shall meander to allow automobile speeds of no faster than 10 to 15 mph. The street design shall encourage drivers to travel at a walking pace. Car speed and movement is restricted by physical barriers, and by deviations, bends, and undulations in the street. The centerline can shift up to 45 degrees at intervals. In general a shared street should appear as a pedestrian-only street yet accessible to automobiles (refer to Figure A11.002, Appendix 11.000).

The entrances and exits of a shared street shall be designed so that they can be clearly recognized and obvious to automobile drivers. Signs, raised pavement, colored pavers, and other distinctive design features shall be used to physically control travel speeds immediately upon entry of the shared street, and to clearly indicate the new street environment to all users.

A maximum volume of 800 vehicles per day is allowed on a shared street. A Civic Neighborhood Local Street shall be constructed if projected traffic volumes exceed 800 vehicles per day. The maximum length of a shared street shall be 900 feet. The minimum intersection spacing for shared streets shall be the same as for local streets at 100 feet.

Table 2: Shared Street Minimum Requirements

Public Access Easement 40 feet. Allowed within this space: automobile pathway, bicycle and pedestrian facilities, parking, lighting, landscaping, other pedestrian amenities such as benches. This is a single surface space with no demarcation or elevation changes for pedestrians.

City of Gresham Development Code (10/16)
[4.12]-19
Travel Lane Width 11 feet one-way travel Design Speed 10 to 15 mph ADT Maximum of 800 vehicles per day Street Length Maximum of 900 feet Intersection Spacing Minimum of 100 feet

c. Any substitution material or alternate method not explicitly approved by the Public Works Standards will be considered for approval as set forth in Section 1.0010 of the Public Works Standards. Persons seeking such approvals shall make application in writing. Approvals of any major deviation from the Public Works Standards shall be in written form. Approval of minor matters shall be made in writing if requested.

Any alternate must meet or exceed the minimum requirement in the Public Works Standards. The written application is to include, but is not limited to, the manufacturer’s specifications and testing results, design drawings, calculations, and other pertinent information.

Any deviations or special problems shall be reviewed on a case-by-case basis and approved by the City’s Engineer. When requested by the City, full design calculations shall be submitted for review with the request for approval.

2. Sidewalk Corridor:

a. The standard sidewalk corridor shall consist of the following (refer to Figure A11.003, Appendix 11.000):

i. A 6” wide curb

ii. In primary commercial zones:

A. A minimum 4-foot wide amenities zone abutting the curb for street trees, signs, utility and streetlight poles, fire hydrants, bike racks, etc. The amenity zone shall be hard surfaced and a contrasting color and texture from the sidewalk as approved by the Manager.

B. A minimum 9-foot wide through-zone that is clear of all obstacles including utility vaults. Tree wells shall not be included in the 9-foot through-zone. The through-zone shall parallel the street and provide a direct, hard-surfaced, walking path.

b. In primary residential zones:

i. The amenity zone shall be a minimum of 5-feet and landscaped with a low growing groundcover, such as grass, as approved by Manager. The Manager may approve the use of hard surface of contrasting color and texture from the sidewalk in lieu of landscaping only where needed to accommodate pedestrian amenities such as street furniture or water fountains.

ii. A minimum 8-foot wide through-zone that is clear of all obstacles including utility vaults. Tree wells shall not be included in the 8-foot through zone. The through zone shall parallel the street and provide a direct, hardsurfaced, walking path.

c. Adjustments:

i. The Manager may approve an adjustment to the sidewalk corridor and rightof-way for local streets not designated Primary or Secondary Pedestrian Streets when:

City of Gresham Development Code (10/16)
[4.12]-20

A. The adjacent use is primarily residential;

B. There are fewer than three commercial building entries accessing the sidewalk;

C. Residential density on the abutting block is less than 50 percent higher than the minimum residential density specified in Table 4.1230

ii. In no case shall the sidewalk corridor consist of less than a 4-foot amenity zone and a 6-foot through-zone.

iii. All other requirements of Section 4.1247(B)(2) shall apply.

d. Overhead awnings or arcades shall be designed to protect the through-zone from rain water runoff.

e. Street Trees:

i. Street trees shall be placed in the amenity zone. Trees placed back of walk are not considered street trees and do not fulfill the requirements of Section 9.1000

ii. Tree grates or pavers shall be used in hard surfaced amenity zones. Plastic tree grates are not allowed (refer to Public Works Standards Drawing 533).

iii. Recommended street trees are designated per functional street classification as noted in Table 3

Civic Neighborhood Boulevard Civic Neighborhood Collector Civic Neighborhood Local or Shared

Littleleaf Linden Red Sunset Maple White or Green Ash

Northern Red Oak Hedge Maple Aristocrat Callery Pear

Accolade Elm Queen Elizabeth Maple Columnar Sargent Cherry

Autumn Purple White Ash Bowhall Maple European Hornbeam

3. Street lights: Decorative pedestrian scale street lighting is required as specified in Public Works Standards Drawings 528 or 532.

4. Intersections:

a. Intersection corners shall be clear of control boxes, street trees, utilities, etc. Traffic signs and signal poles shall be placed outside of the pedestrian through zone (refer to Figure A11.004, Appendix 11.000).

b. All crosswalks shall have a contrasting color and texture detail. Colored pavers or concrete is required (refer to Public Works Standard Drawings 534 and 535).

c. Curb extensions shall be required for all intersections and mid-block pedestrian crossings.

d. In no case shall the curb to curb width be less than 20 feet.

5. Shopping cart storage shall not be allowed within public rights-of way.

City of Gresham Development Code (10/16)
[4.12]-21
Table 3: Street Tree Recommendations

6. Any encroachments located in the public right-of-way or public pedestrian easement shall be subject to design approval by Manager.

7. Pedestrian connections (multi-use paths and GCN Pedestrian Accessways) shall be constructed as noted in Map 4.1247A. Specific alignments shall be reviewed and approved by the Manager and shall provide the point-to-point connections indicated.

a. The multi-use path shall be constructed of concrete and meet the requirements of the neighborhood pedestrian accessway standard (refer to Section A5.508 and Public Works Standard Drawing 515).

b. The Civic Neighborhood Pedestrian Accessway shall be used where indicated on Map 4.1247A

i. The Civic Neighborhood Pedestrian Accessway is a 20-to 40-foot public access easement or dedication. Within the 20-to 40-feet, a 12-to 20-foot wide concrete pathway is required. Other hard-surfaced materials may be used as a substitute to concrete with sufficient justification and approval by the Manager. The remaining space will be dedicated to landscaping, including trees, water features, and other pedestrian amenities (refer to Figure A11.005, Appendix 11.000).

ii. Non-permanent cart vendors, kiosks, outdoor restaurant seating, etc. may be allowed in a Pedestrian Accessway provided a minimum 12-foot wide pathway is continually clear of any and all obstructions.

iii. The Pedestrian Accessway shall be lighted per the multi-use path standards in section A5.508.

iv. Local Streets or Shared Streets may be used in lieu of a Pedestrian Accessway subject to approval of the Manager.

c. The multi-use path linking NW Council Drive at NW Florence Avenue to NW Shattuck Way shall provide a connection to NW Shattuck Way within an area extending at least 100 feet from the intersection with NW Burnside and 100 feet from the intersection with NW Florence Avenue. Map 4.1247A follows:

City of Gresham Development Code (10/16)
[4.12]-22
[4.12]-23 City of Gresham Development Code (10/16)

4.1248 Mixed Use Requirements Adjacent to Civic Neighborhood LRT Station and Plaza

A. Purpose

The purpose of this section is to require development projects adjacent to the Civic Neighborhood LRT Station and the public plaza planned on the north side of the station to contain a variety of commercial, residential and institutional uses. A mix of uses will assure a high level of pedestrian activity in the area at most times of the day, and will contribute to “eyes on the street”, enhancing security and safety in the area.

B. Standards

1. Development facing the light rail station, and facing the public plaza as shown on Map 4.1247A shall provide for a mix of uses. On these facing developments, Business and Retail Service and Trade, or institutional uses are required on the ground floor. Lobbies or entrances to residential uses are also permitted.

2. Ground floor Business and Retail Service and Trade and Institutional uses shall have primary customer entrances oriented toward the light rail station and public plaza. Off-street parking and loading is not permitted along these frontages.

3. Above the ground floor, Business Service, Institutional or residential uses are required, and the facing development shall have a minimum depth of 30 feet.

4.1249 Adjustments to Certain Development Standards on Primary Pedestrian Streets

A. Purpose

Development standards for Primary Pedestrian Streets are designed to achieve the purpose statement for the Civic Neighborhood, that is to achieve a mixed-use, transit centered neighborhood that has a high quality pedestrian environment and includes uses and features associated with the center of the City. However, because of the varied topographic conditions found within the Civic Neighborhood, some sites are difficult to develop in compliance with certain development standards. The adjustment process allows applicants to propose alternative designs that are consistent with the purpose of the standards and findings are made that the approval criteria are met.

B. Approval Criteria

Adjustment requests will be approved through a Type II process if the review body finds that the applicant has shown that all approval criteria have been met.

1. Granting the adjustment will continue to meet the purpose of the standard(s) to be modified in an acceptable alternative manner; and

2. The proposal will not significantly detract from the livability or appearance of an area and the proposal will be consistent with the desired character of the area; and

3. If more than one adjustment is being requested, the cumulative effect of the adjustments as well as each individual adjustment results in a project which is still consistent with the overall purpose, goals and standards of the zone; and

4. Granting the adjustment is the minimum necessary to allow the proposed use of the site, and any impacts resulting from the adjustment are mitigated to the extent practical.

City of Gresham Development Code (10/16)
[4.12]-24

C. Standards That May be Adjusted

The following standards may be adjusted using the adjustment process.

1. 4.1233(B)(1) and (2) Requires facades of at least two stories.

2. 4.1233(D) Requires second story active uses.

3. 4.1235(B). Requires ground floor windows.

4. 4.1236(B). Requires a primary entrance connecting to a street.

D. Sites Eligible for Adjustment Process

1. Sites where existing grades or necessary overall site grading results in a finished grade at the street right-of-way that is a minimum of six feet higher or lower than the abutting sidewalk grade.

4.1250 Solar Energy Standards for Civic Neighborhood Districts

Solar energy systems are limited in all Civic Neighborhood districts as follows:

A. Scale. Small and medium scale solar energy systems are permitted. Large scale systems are permitted with a Special Use Review.

B. Type. Roof-top, flat-roof, integrated and ground-mounted solar energy systems are permitted.

C. Height. The following limitations on maximum height apply to all solar energy systems:

1. Roof-top, Flat-roof and Integrated.

a. For roofs that are flat or the horizontal portion of mansard roofs, the solar energy systems on frames shall not exceed 10 feet above the roof height on which the system is installed.

b. For pitched, hipped or gambrel roofs, the solar energy system panels shall not exceed 18 inches in height from the surface of the roof on which the system is installed.

2. Ground-mounted. Ground-mounted solar energy systems shall not exceed 20 feet in height.

D. Setbacks and Yards. Solar energy systems are not allowed in the required front or street-side setbacks.

4.1251 Wind Energy Standards for Civic Neighborhood Districts

Wind energy systems are limited in all Civic Neighborhood districts as follows:

A. Scale. Small and medium scale wind energy systems are permitted. Large scale systems are permitted with a Special Use Review.

B. Type. Roof-top and ground-mounted wind energy systems are permitted.

C. Height. The following limitations on maximum height apply to all wind energy systems:

1. Roof-top. The height of roof-top wind energy systems shall not exceed a value equal to the building height when the building height is 45 feet or less. For buildings which exceed 45 feet in height, the wind energy system shall not exceed 45 feet maximum.

2. Ground-mounted. The height of ground-mounted wind energy systems shall not exceed 45 feet as measured from the grade at the base of the equipment to the top of the system. The height limit of 45 feet can be exceeded up to 110 feet with a Special Use Review.

City of Gresham Development Code (10/16)
[4.12]-25

D. Setbacks and Yards. Wind energy systems are not allowed in the required front, street-side, side or rear setbacks and are not allowed in the front yard or street-side yard between the building and the street.

4.1252 Biomass Energy Standards for Civic Neighborhood Districts

Biomass energy systems are limited in all Civic Neighborhood districts as follows:

A. Scale. Small scale biomass energy systems are permitted.

B. Type. Non-hazardous biomass systems are permitted.

C. Height. Biomass energy systems shall not exceed the maximum district height limits.

D. Setbacks and Yards. Biomass energy systems are not allowed in the required front, street-side, side or rear setbacks, and are not allowed in the front or street-side yards between the building and the street.

4.1253 Geothermal Energy Standards for Civic Neighborhood Districts

Geothermal energy systems are limited in all Civic Neighborhood districts as follows:

A. Scale. Small scale geothermal energy systems are permitted. Large scale systems are permitted with a Special Use Review.

B. Type. Closed-loop geothermal energy systems that are not in any well field protection areas are permitted.

C. Height. Geothermal systems shall not exceed the maximum district height limits.

D. Setbacks and Yards. Geothermal systems are not allowed in the required front, street-side, side or rear setbacks, except that small geothermal heating and cooling units like heat pumps can project into the setbacks per Section 9.0900 Projections.

4.1254 Micro-Hydro Energy Standards for Civic Neighborhood Districts

Micro-hydro energy systems are limited in all Civic Neighborhood districts as follows:

A. Scale. Small scale micro-hydro energy systems are permitted.

B. Type. In-pipe micro-hydro energy systems such as systems within water, stormwater or wastewater pipe are permitted.

C. Height. Generally the district height limits apply. However, in-pipe systems may exceed the district height limit as allowed for mechanical equipment. If supplemental equipment structures accompany the in-pipe systems, then the district height limit would apply.

D. Setbacks and Yards. Micro-hydro energy systems contained within piping are allowed and pipe can run within the required setbacks. However, if supplemental equipment structures accompany the in-pipe systems, then the district setback limits apply.

City of Gresham Development Code (10/16)
[4.12]-26

4.1301 Purpose

SECTION 4.1300

GRESHAM BUTTE PLAN DISTRICT

General

Development Standards

4.1310 Types of Development Allowed and Setback Minimum

4.1311 Density and Average Lot Sizes

4.1312 Site Development Requirements

General

4.1301 Purpose

The Gresham Butte Plan District is an overlay district providing special regulations covering the Gresham Butte area of the city. The boundaries of the Gresham Butte Plan District are shown on the Gresham Butte Overlay Map in Appendix 41 of Volume 1, Gresham Community Development Plan. Contained in this section are special requirements for development within this area.

Special requirements for this area are provided to preserve the natural beauty of Gresham Butte. In addition, the requirements are needed to provide for the unique development conditions experienced on Gresham Butte including special needs in the areas of storm water management, fire protection and access management.

The uses permitted and standards applied match those of the Low-Density Residential-5 District and the Hillside Physical Constraint District unless modified by this section.

Development Standards

4.1310 Type of Development Allowed and Setback Minimum

The permitted uses of Table 4.0120 under LDR-5 apply.

The LDR-5 development types are allowed except the Gresham Butte Plan District specifically prohibits:

1. Duplexes

2. Zero Lot Line Dwellings

The LDR-5 setback requirements are required except that the side yard setback shall be a minimum of 10 feet to encourage side yard planting.

[4.13]-1 City of Gresham Development Code (07/13)

4.1311 Density and Average Lot Sizes

Table 4.1311(A) summarizes the density and lot size requirements which apply to the Gresham Butte Plan District.

Table 4.1311(A)

Standard Requirement

Maximum Density 1 D.U./Acre

Average Lot Size Minimum Average = 1 Acre

Calculation Method

Property Area = Gross Property Area as described by recorded legal description or existing boundary survey

Rounding of D.U. = 1/2 Acre or more will round up to the next D.U. (i.e. 1.50 Acres = 2 D.U., 1.499... = 1 D.U.)*

If separate open space area(s)** is(are) created, the area of the open space tract(s) is(are) added into the area calculation but is not counted towards the total dwelling unit count (i.e. Lot A = .5 Acres, Lot B = .3 Acres, Lot C = .5 Acres and Open Space Tract D = 1.7 Acres would result in an average lot size of 1 acre)

* Existing vacant properties under .5 acre, with adequate space get credit for one dwelling unit.

** Separate open space must be put in a tract or tracts owned and maintained by all of the property owners of the lots created with the land division. Tract deeds and maintenance agreement(s) must be approved by the City of Gresham prior to the recordation of the final plat or final subdivision.

4.1312 Site Development Requirements

The Site Development Requirements of LDR-5 shall apply unless modified by this section.

A. Development on a Lot of Record

A lot of record may be developed with a permitted use as per the Gresham Community Development Code. Development on a lot of record must be developed with dwellings protected with a fire sprinkler system consistent with Subsection (B) below.

B. Fire Suppression Systems Required

All new dwelling units constructed within the Gresham Butte District shall be built with fire suppression systems installed consistent with the Building Code and shall be inspected and approved by the Gresham Fire Marshal.

New construction within the Gresham Butte Plan District involving the addition to or remodeling (requiring building permits under the Building Code) that either adds to or modifies over 50% of the original structure floor area shall be built with a fire suppression system installed as above.

C. Access Requirements

Access to Gresham Butte shall be enhanced through upgrades to the existing SW Walters Road as described in the City of Gresham Capital Facilities Plan.

[4.13]-2

City of Gresham Development Code (07/13)

All development shall be designed to the greatest extent possible to create connectivity between streets and sidewalks and the public trail system as described in the Gresham Trails Master Plan.

D. Area-wide and Basin Specific Utility Facilities

In order to effectively manage stormwater runoff from development on Gresham Butte, new development shall participate in area-wide or basin specific stormwater management solutions where the City of Gresham best design approaches indicates an area-wide solution based on efficiency for long term maintenance and safety considerations.

This participation may also be required for other utilities given the unique topographic and open space features of Gresham Butte. Other facilities preliminarily identified, include but are not limited to sanitary sewer systems and water systems.

E. Modifications to Public Facility Standards

For SW Walters Road and in the Gresham Butte Plan District, standards of Appendix 5.000Public Facilities, Gresham Community Development Code, may be modified including right of way, width, pavement, sidewalk, and other standards with approval by the Manager.

[4.13]-3 City of Gresham Development Code (07/13)
[4.13]-4 City of Gresham Development Code (07/13)

ARTICLE 4 LAND USE DISTRICTS AND PLAN DISTRICTS

SECTION 4.0100 RESIDENTIAL LAND USE DISTRICTS

[4.01]-1 City of Gresham Development Code (10/16)
General 4.0101 Purpose Land Use District Characteristics 4.0110 Low Density Residential-5 (LDR-5) 4.0111 Low Density Residential-7 (LDR-7) 4.0112 Transit Low Density Residential (TLDR) 4.0113 Transition Residential (TR) 4.0114 Moderate Density Residential-12 (MDR-12) 4.0115 Moderate Density Residential-24 (MDR-24) 4.0116 Office / Residential (OFR) Permitted Uses 4.0120 Permitted Uses Land Use District Standards 4.0130 Residential Land Use District Standards 4.0131 Additional Standards for the LDR-5 and LDR-7 Districts 4.0132 Additional Standards for the LDR-5, LDR-7, TR and TLDR Districts 4.0133 Single-Family Attached Dwelling Standards for Phasing and Design Review 4.0134 Standards for Residential Districts Other than LDR-5, LDR-7, TLDR and TR 4.0135 Single Family and Duplex Construction on a Lot 4.0136 Manufactured Dwelling Requirements 4.0137 Accessory Dwellings 4.0138 Residential Compatibility Standards for LDR-5, LDR-7, TLDR and TR 4.0139 Large Lot Subdivision Option for LDR-5 and LDR-7 4.0140 Solar Energy Standards for Residential Districts 4.0141 Wind Energy Standards for Residential Districts 4.0142 Biomass Energy Standards for Residential Districts 4.0143 Geothermal Energy Standards for Residential Districts 4.0144 Micro-Hydro Energy Standards for Residential Districts 4.0150 Poultry, Livestock and Beekeeping

General

4.0101 Purpose

Development on lands designated Low Density Residential-5, Low Density Residential-7 Transit Low Density Residential, Transition Residential, Moderate Density Residential-12, Moderate Density Residential-24, and Office / Residential is permitted when consistent with the provisions of this section and all other applicable requirements of the Community Development Plan.

Some non-residential uses may also be permitted within some of these districts. Areas of the city determined appropriate for the following Residential Land Use District developments are identified on the Community Development Plan Map.

Development of land in the following Residential Land Use Districts is permitted when development proposals are found to comply with the standards of this section and other relevant supplementary requirements of this ordinance.

Land Use District Characteristics

4.0110 Low Density Residential-5 (LDR-5)

The Low Density Residential-5 District is primarily intended for single-family detached dwellings and manufactured homes at a maximum net density of 8.71 units per acre. For all subdivisions, and for those partitions of parent parcels greater than 20,000 square feet, a minimum net density of 6.22 units per acre is required.

4.0111 Low Density Residential-7 (LDR-7)

The Low Density Residential-7 District is primarily intended for single-family detached dwellings and manufactured homes at a maximum net density of 6.22 units per acre. For all subdivisions, and for those partitions of parent parcels greater than 20,000 square feet, a minimum net density of 4.35 units per acre is required.

4.0112 Transit Low-Density Residential (TLDR)

The Transit Low Density Residential District designation is applied primarily to existing low-density residential neighborhoods within close proximity of light rail and/or bus transit service and is intended for single family detached and attached dwellings, manufactured homes, and duplexes at a maximum net density of 20 units per acre. For all subdivisions, and for those partitions of parent parcels greater than 13,000 square feet, a minimum net density of 10 units per acre is required. This district is intended to continue as a lower-density neighborhood, with detached single-family housing on small lots. Manufactured dwelling parks are allowed at a maximum net density of 14 units per acre and a minimum net density of 7 units per acre.

City of Gresham Development Code
[4.01]-2
(10/16)

4.0113 Transition Residential (TR)

The Transition Residential District designation is intended for a mix of single-family detached, singlefamily attached and duplex housing. It is applied primarily to locations between more intense land use districts (such as those that allow multi-family residential and commercial uses) and less intense land use districts such as LDR-5 and LDR-7. TR provides a transition between these intensities while providing for a variety of housing types. The residential net density is 6.22 to 14.52 or 18.15 units per acre, depending on site size

4.0114 Moderate Density Residential-12 (MDR-12)

The Moderate Density Residential District-12 is primarily intended for attached housing at a maximum net density of 12.1 units per acre and manufactured dwelling parks at a maximum net density of 8.71 units per acre. Manufactured dwelling parks shall be designed in conformance with standards and procedures of the Oregon Department of Consumer and Business Services, Building Codes Division as contained in Oregon Administrative Rules Chapter 918 Div. 600. Where standards of OAR 918-600 conflict with the following standards, the more restrictive standard shall apply.

4.0115 Moderate Density Residential-24 (MDR-24)

The Moderate Density Residential District-24 is primarily intended for attached housing at a maximum net density of 24.2 units per acre and a minimum net density of 12.1 units per acre. Some non-residential uses may also be permitted within this district.

4.0116 Office/Residential District (OFR)

The Office/Residential District is primarily intended for business offices, professional clinics and attached housing at a minimum net density of 8.71 units per acre and a maximum net density of 12.1 units per acre.

Permitted Uses

4.0120 Permitted Uses

Table 4.0120 lists those uses that are permitted in each Residential Land Use District.

• P = Permitted use

• L = Use is permitted, but is limited in the extent to which it may be permitted

• NP = Use not permitted

• SUR = Use permitted subject to a Special Use Review

Each of these uses must comply with the land use district standards of Section 4.0130-4.0138 and all other applicable requirements of the Community Development Code.

City of Gresham Development Code (10/16)
[4.01]-3

Table 4.0120: Permitted Uses in the Residential Land Use Districts

City of Gresham Development Code (10/16)
[4.01]-4
USES LDR-5 LDR-7 TLDR TR MDR-12 MDR-24 OFR RESIDENTIAL Single-Family Detached Dwelling P P P P L1 NP L1 Duplex L2 L2 P L3 P P P Single-Family Attached Dwellings NP NP P P P P P Attached Dwellings on a Single Lot NP NP NP NP P P P Elderly Housing7 NP NP NP NP SUR SUR SUR Manufactured Dwelling Park NP NP P NP P NP NP Residential Facility NP NP NP NP P P P Residential Home P P P P L1 NP L1 COMMERCIAL Auto-Dependent Use NP NP NP NP NP NP NP Business and Retail Service and Trade NP NP NP NP NP NP L4 Clinics NP NP NP NP NP NP P Commercial Parking NP NP NP NP NP SUR SUR Daycare Facilities SUR SUR SUR SUR SUR SUR SUR Live-Work NP NP NP NP NP NP NP Major Event Entertainment NP NP NP NP NP NP SUR Mini-Storage Facilities NP NP NP NP NP NP NP Outdoor Commercial NP NP NP NP NP NP NP INDUSTRIAL Construction NP NP NP NP NP NP NP Exclusive Heavy Industrial Uses NP NP NP NP NP NP NP Industrial Office NP NP NP NP NP NP NP Information Services NP NP NP NP NP NP NP Manufacturing NP NP NP NP NP NP NP Miscellaneous Industrial NP NP NP NP NP NP NP Trade Schools NP NP NP NP NP NP NP Transportation/Distribution NP NP NP NP NP NP NP Warehousing/Storage NP NP NP NP NP NP NP Waste Management NP NP NP NP NP NP NP Wholesale Trade NP NP NP NP NP NP NP INSTITUTIONAL USES Civic Uses SUR SUR SUR SUR SUR SUR SUR Community Services SUR SUR SUR SUR SUR SUR SUR Medical NP NP SUR SUR SUR SUR SUR Parks, Open Spaces, and Trails SUR SUR SUR SUR SUR SUR SUR Religious Institutions SUR SUR SUR SUR SUR SUR SUR Schools SUR SUR SUR SUR SUR SUR SUR

Notes

1 Permitted on a lot of record only.

2 See Section 4.0131

3 Duplexes are allowed only on corner lots. Each unit of the duplex must have its address and main entry door oriented toward a separate street frontage. Conversion of an existing house may provide one main entrance with internal access to both units.

4 Limited Business and Retail Service and Trade when found to be consistent with the requirements of Section 4.0134

5 Electrical Generating Facilities are not permitted on residentially designated land.

6 Permitted as an accessory use to Medical and Civic Uses through the Special Use Review process.

7 May have locational limitations, see Section 8.0114.

8 See Section 10.0900 for additional standards that apply

9 For limitations, see Section 4.0140 Solar Energy System Standards for Residential Districts.

10 For limitations, see Section 4.0141 Wind Energy System Standards for Residential Districts

11 For limitations, see Section 4.0142 Biomass Energy System Standards for Residential Districts.

12 For limitations, see Section 4.0143 Geothermal Energy System Standards for Residential Districts.

13 For limitations, see Section 4.0144 Micro-Hydro Energy System Standards for Residential Districts.

Land Use District Standards

4.0130 Residential Land Use District Standards

The development standards listed in Table 4.0130 are applicable to all development within the Residential Land Use Districts. Development within these districts shall also be consistent with all other applicable requirements of the Community Development Code.

For purposes of Table 4.0130 and Table 4.0130(E), Residential Homes are treated like Detached Dwellings on a single lot; Residential Facilities and Elderly Housing are treated like Attached Dwellings on a Single Lot.

City of Gresham Development Code (10/16) USES LDR-5 LDR-7 TLDR TR MDR-12 MDR-24 OFR RENEWABLE ENERGY8 Solar Energy Systems L9 L9 L9 L9 L/SUR9 L/SUR9 L/SUR9 Wind Energy Systems L10 L10 L10 L10 L10 L10 L10 Biomass Energy Systems L/SUR11 L/SUR11 L/SUR11 L/SUR11 L11 L11 L11 Geothermal Energy Systems L12 L12 L12 L12 L/SUR12 L/SUR12 L/SUR12 Micro-Hydro Energy Systems L13 L13 L13 L13 L13 L13 L13 OTHER Basic Utilities Minor basic utilities Major basic utilities P L/SUR5 P L/SUR5 P L/SUR5 P L/SUR5 P L/SUR5 P L/SUR5 P L/SUR5 Heliports6 NP NP NP NP NP NP NP Wireless Communications Facilities SUR SUR SUR SUR SUR SUR SUR Temporary, Intermittent & Interim Uses P P P P P P P Marijuana Businesses NP NP NP NP NP NP NP
[4.01]-5

Table 4.0130: Development Requirements For Residential Land Use Districts

[4.01 ]6 C ity of Gresham Development Code ( 10/16 )
LDR-51,2 LDR-71,2 TLDR TR MDR-12 MDR-24 OFR A. Minimum Site Size None None None, except 20,000 square feet for manufactured dwelling park13 None Attached dwellings: 7,200 square feet Manufactured dwelling parks: 20,000 square ft. 11,000 square feet 7,200 square feet B. Minimum Lot Size: Detached dwelling unit manufactured home: 5,000 square feet 7,000 square feet None 4,000 square feet Not Applicable Not Applicable Not Applicable Single family attached dwellings: Not Applicable Not Applicable None 2,400 square feet 3,600 square feet No minimum lot size 3,600 square feet Duplexes: Not Applicable Not Applicable None 7,000 square feet 7,200 square feet 3,600 square feet 7,200 square feet C. Density: 1. Minimum Net Density (See definition of Net Density In Article 3) 6.22 units per acre14 4.35 units per acre14 10 units per acre 14 Manufactured dwelling park: 7 units per acre 6.22 units per acre14 Attached dwellings: 8.71 units per acre4 Manufactured dwelling park: 3.78 units per acre 12.1 units per acre5 8.71 units per acre 2. Maximum Net Density 8.71 units per acre Also See Section 4.0131(A) 6.22 units per acre Also See Section 4.0131(A) 20 units per acre Manufactured dwelling park: 14 units per net acre Sites less than 1.5 acres: 18.15 units per acre Sites greater than 1.5 acres: 14.52 units per acre Attached dwellings: 12.1 units per acre Manufactured dwelling park: 8.71 units per acre 24.2 units per acre Also See Section 4.0134(D) 12.1 units per acre

D. Minimum Lot Dimensions:

1. Width at building line

a. Interior lot

b. Corner lot

Single Family detached:

(1a) 35 feet

(1b) 40 feet

2. Depth

a. Interior lot

b. Corner lot

(2a) 70 feet

(2b) 70 feet

E. Minimum Yard Setback See Table 4.0130(E). See Section 4.0138 for infill setback standards.

Single Family detached:

(1a) 40 feet

(1b) 40 feet

(2a) 70 feet

(2b) 70 feet

None, except singlefamily attached shall be as per MDR-24 single-family attached

Single Family detached and Duplex:

(1a) 35 feet

(1b) 40 feet

(2a) 70 feet

(2b) 70 feet; Single Family Attached:

(1a) 16 feet7

(1b) Corner lot8

(2) 0 feet

All uses except Single-family and Duplex:

(1a) 65 feet

(1b) 70 feet

(2a) 90 feet

(2b) 100 feet.

Single Family Attached Dwellings and Duplex:

(1a) 16 feet7

(1b) Corner lot8

(2) 0 feet

All uses except Single-family and Duplex:

(1a) 60 feet

(1b) 70 feet

(2) 100 feet

Single Family Attached Dwellings and Duplex:

(1a) 16 feet7

(1b) Corner lot8

(2) 0 feet

(1a) 60 feet

(1b) 70 feet(2) 100 feet

See Table 4.0130(E). See Section 4.0138 for infill setback standards.

See Table 4.0130(E) See Section 4.0138 for infill setback standards.

See Table 4.0130(E). See Section 4.0138 for infill setback standards.

See Table 4.0130(E) See Table 4.0130(E) See Table 4.0130(E)

[4.01 ]7 C ity of Gresham Development Code ( 10/16 )

F. Maximum Building Height 35 feet. See Section 10.1100 for shoreline height standards. See Section 4.0138 for infill height standards.

G. Height Transition See Section 9.0600 for applicability.

H. Minimum Street Frontage9 35 feet. Corner lots: 40 feet 3

35 feet. See Section 4.0138 for infill height standards.

35 feet. See Section 4.0138 for infill height standards.

35 feet. See Section 4.0138 for infill height standards.

35 feet.

Single family attached dwellings: 35 feet.

Other attached dwellings: 3 stories or 40 feet. Also see Sec. 4.0134(A).

35 feet. See Section 4.0134(C).

See Section 9.0600 for applicability.

See Section 9.0600 for applicability. See Section 9.0600 for applicability.

See Section 9.0600 for applicability. See Section 9.0600 for applicability.

40 feet. See Table Note 11. See Table Note 11. 45 feet, except: Single family attached dwellings: 16 feet

Single-family attached on a corner lot: varies depending on access.3

Attached dwellings on a single lot: 45 feet.

Attached dwelling units on a single lot: 45 feet

Single-family attached dwellings: 16 feet.

Single family attached on a corner lot: varies depending on access3

See Section 9.0600 for applicability.

Not Applicable, except: Single family attached dwellings: 16 feet. Single family attached on a corner lot: varies depending on access3

[4.01 ]8 C ity of Gresham Development Code ( 10/16 )
4.0132(F)
Section 4.0132(F)
Section 4.0132(F)
Section 4.0132(F)
Section 4.0134(F) See Section 4.0134(F)
4.0134(F) J.
Not Applicable Not Applicable Not Applicable Not Applicable Not Applicable
I. Public Facilities. Site and Supplementary Requirements See Section
See
See
See
See
See Section
Commercial Development Not Applicable
See Section 4.0134(B)

Table 4.0130 Notes:

1 Refer to Section 4.0131(D)

2 Refer to Section 4.0132(C).

3 As measured from the corner radius end point to the property corner 25 feet if there is an alley or shared access and 32 feet if there is no alley or shared access.

4 This does not apply to lots of record less than 7,200 square feet.

5 This does not apply to lots of record less than 11,000 square feet in size.

6 This does not apply to lots of record less than 20,000 square feet in size.

7 Single family attached dwelling lots of less than 22 feet width shall take access from an alley or from a shared access.

8 Abuts an alley = 16 feet; shared access = 25 feet; no alley or shared access = 42 feet

9 A reduction in the minimum street frontage may be approved when the applicant can document compliance with Section 10.1520 of the Community Development Code.

10 Parking stalls, aisles and maneuvering areas not allowed in setbacks.

11 All permitted uses except single family attached dwellings: 35 feet, except corner lots shall be 40 feet as measured from the corner radius end point to the property corner. Single family attached dwellings: 16 feet, except corner lots shall be 25 feet as measured from the corner radius end point to the property corner if there is an alley or shared access, and 32 feet from the corner radius end point to the property corner if there is no alley or shared access. A reduction in the minimum street frontage may be approved when the applicant can document compliance with Section 10.1520 of the Community Development Code.

12 For manufactured dwelling parks this provision is replaced by the requirements of Section 7.0211

13 The minimum site size standard of Table 4.0130 shall be satisfied prior to issuance of a development permit for manufactured dwelling parks.

14 The minimum density standards do not apply to the partition of parent parcels of 20,000 net square feet or less in LDR-5, LDR-7 and TR Districts and the partition of parent parcels of 13,000 net square feet or less in the TLDR District.

[4.01 ]9 C ity of Gresham Development Code ( 10/16 ) K. Limited Retail Trade, Retail Not Applicable Not Applicable Not Applicable Not Applicable Not Applicable Not Applicable See Section 4.0134(B) M. Off Street Parking See Section 9.0800 See Section 9.0800 See Section 9.080012 See Section 9.0800 See Section 9.0800 See Section 9.0800 See Section 9.0800 N. Safe Neighborhood Design Performance Standards See Section 4.0132(D) See Section 4.0132(D) See Section 4.0132(D) 12 See Section 4.0132(D) Applicable for single family attached units Applicable for single family attached units Applicable for single family attached units O. Buffers See Buffer Matrix, Section 9.0100 See Buffer Matrix, Section 9.0100 See Buffer Matrix, Sec. 9.010012 See Buffer Matrix, Section 9.0100 See Buffer Matrix, Section 9.0100 See Buffer Matrix, Section 9.0100 See Buffer Matrix, Section 9.0100 P. Infill Development Standards See Section 4.0138 See Section 4.0138 See Section 4.0138 See Section 4.0138 Not Applicable Not Applicable Not Applicable

Table 4.0130(E) - Minimum Setbacks in Residential Districts7

[4.01 ]10 C ity of Gresham Development Code ( 10/16 )
FRONT SIDE REAR Front Facade/ Wall Front Porch Garage Interior Side (Not Zero or Common Wall) Zero Lot Line Option Street Side Wall Street Side Porch Street Side Garage Access Rear/ No Alley Rear/ With Alley Single Family Detached:[6] [10] LDR-51 10 feet 6 feet 20 feet 5 feet 6 inches on zero/ 6 feet on other side8 10 feet 6 feet 20 feet 15 feet 6 feet LDR-71 10 feet 6 feet 20 feet 5 feet 6 inches on zero/ 6 feet on other side8 10 feet 6 feet 20 feet 15 feet 6 feet TLDR1 10 feet 6 feet 20 feet 5 feet 6 inches on zero/ 6 feet on other side8 10 feet 6 feet 20 feet 15 feet 6 feet TR1 10 feet 6 feet 20 feet 5 feet 6 inches on zero/ 6 feet on other side8 10 feet 6 feet 20 feet 15 feet 6 feet MDR-12 10 feet 10 feet 20 feet 10 feet NA 20 feet 20 feet 20 feet 15 feet NA OFR 10 feet 10 feet 20 feet 10 feet NA 20 feet 20 feet 20 feet 15 feet NA Single Family Attached: 2, 3, 6 TLDR 10 feet 6 feet 20 feet 5 feet NA 6 feet 6 feet 20 feet 10 feet 6 feet TR 10 feet 6 feet 20 feet 5 feet NA 6 feet 6 feet 20 feet 10 feet 6 feet MDR-24, MDR12, OFR 10 feet 6 feet 20 feet 5 feet NA 6 feet 6 feet 20 feet 10 feet 6 feet

Table 4.0130(E) - Minimum Setbacks in Residential Districts7

Table 4.0130(E) Notes:

1 See Section 10.0200 for setbacks of detached accessory structures and for setbacks of attached and detached patio covers in LDR-5, LDR-7,TLDR and TR.

2 Buffering and Screening Standards of Section 9.0100 may apply.

3 Height Transition Standards of Section 9.0600 may apply.

4 20 foot minimum distance between major structures on same lot, except for non-single family attached townhouse style dwellings on the same lot where a minimum of 10 feet in between major structures (side to side) will be required. Detached carports and detached garages are not major structures. See Section 10.0200 for accessory structure setback standards.

5 Maximum front and street-side setbacks apply as provided for the Corridor Multi-Family District in Table 4.0430 and Section 4.0433(B).

6 For double-fronted lots, each street frontage shall be considered a front yard in terms of setback requirements (except when one of the frontages is an alley or private accessway, in which case that yard will be the rear).

7 In cases where sidewalk access is provided by easement, the setback shall be measured from the easement line closest to the house or garage per Table 4.0130(E).

8 The Zero Lot Line option may only be employed on a lot designated as a zero lot line lot through a land division approval. See Section 4.0132(A)(3).

9 Setbacks for single family attached units are identified in Table 7.0201(M)(3)(a).

10 The maximum setback for single-family detached dwellings from the end of a Minor Access Street is 25 feet.

[4.01 ]11 C ity of Gresham Development Code ( 10/16 )
FRONT SIDE REAR Front Facade/ Wall Front Porch Garage Interior Side (Not Zero or Common Wall) Zero Lot Line Option Street Side Wall Street Side Porch Street Side Garage Access Rear/ No Alley Rear/ With Alley Attached Dwellings: 2, 3, 4, 6 MDR-12 10 feet5 NA5 NA2, 5 10 feet NA 5 feet5 5 feet5 20 feet5 15 feet 15 feet MDR-24 10 feet5 6 feet5 NA2, 5 10 feet NA 5 feet5 5 feet5 20 feet5 15 feet 15 feet OFR 10 feet5 NA5 NA2, 5 10 feet NA 5 NA5 NA5 15 feet 15 feet

4.0131 Additional Standards for the LDR-5 and LDR-7 Districts

A. Density Calculations

1. Accessory dwellings are not included in the determination of density nor are dedicated streets or tracts created for non-dwelling unit purposes such as open space tracts, except where transfer of density from the tract to the remainder of the site is allowed by a Special Purpose Overlay District.

2. A new lot created with a pre-existing dwelling on it may be excluded from the density calculation only if this new lot is less than 8,400 square feet or if the dwelling sits on a “leftover parcel” as described with Section 4.0132(E).

B. Development of a Lot of Record in LDR-5: A lot of record which is less than 5,000 square feet may be developed for all uses permitted in the LDR-5 district when in compliance with the other requirements of the LDR-5 District.

C. Development of Duplexes on a Lot Created under standards in effect Prior to December 19, 1996: A lot that was created under standards in effect prior to December 19, 1996, may be developed with a duplex, only if:

1. It is 8,000 square feet or more in size and any portion is located within 275 feet of a major arterial or standard arterial street; or

2. It is designated on a recorded plat as a duplex lot.

D. Development of a Lot of Record in LDR-7: A lot of record which is less than 7,000 square feet may be developed for all uses permitted in the LDR-7 District when in compliance with the other requirements of the LDR-7 District.

4.0132 Additional Standards for the LDR-5, LDR-7, TR and TLDR Districts

A. Yard Setbacks for Single-Family Detached Dwellings

1. Refer to Table 4.0130(E) for setbacks of single-family detached dwellings.

2. See Section 10.0200 for yard setback requirements for detached accessory structures and for attached and detached patio and deck covers.

3. Zero lot line special side yard setback conditions:

a. For an adjacent lot, the yard abutting the 6 inch side shall be a minimum of 6 feet.

b. A zero lot line side yard setback shall not be employed where the abutting property is not part of a zero lot line development. When the zero lot line cannot be employed, the structure shall be a minimum of 5 feet from the interior side yard property boundary.

c. All side yard setbacks in a zero lot line development shall be clearly indicated on each lot for both the tentative partition or subdivision plan and final partition or subdivision plat.

d. A perpetual six foot maintenance and general utility easement shall be provided on the lot adjacent to the zero lot property line. This easement shall be kept clear of structures or any other object which could physically preclude access to areas within the easement for utilities access and for maintenance of the wall on the zero lot line side of the structure.

City of Gresham Development Code (10/16)
[4.01]-12

B. Yard Setbacks for Single-Family Attached Dwellings. Refer to Table 4.0130(E) and Table 7.0201(M)(3)(a) for setbacks of single-family attached dwellings.

C. Maximum number of units per lot: No more than one dwelling unit or duplex may be located on a lot except as authorized for those residential uses subject to a Special Use Review pursuant to Section 8.0100 and except as authorized through the Accessory Dwelling provisions of Section 10.0100 of the Community Development Code.

D. Safe Neighborhood Design Performance Standards

These provisions are intended to help create safer neighborhoods and a high-quality pedestrian environment by incorporating crime prevention design that emphasizes linkages and surveillance between the dwelling and the street. These provisions apply to construction of new single-family detached dwellings, duplexes and single-family attached dwellings

1. Visible Dwelling Front. Except for homes on the flag portion of flag lots, the front door shall be oriented towards the street which the dwelling faces. At least 75 percent of that street frontage shall be visible from: 1) the front door; or 2) a street facing ground floor window in a frequently used room such as a living room, dining room, kitchen or bedroom (but, for example, not a window to a garage, bathroom or storage area); or 3) a street facing second story, minimum four-foot-by-four-foot window, except a bathroom window, placed no higher than 3 feet 6 inches from the floor to the bottom of the window sill. This section allows portions of the front of a dwelling to protrude forward of other portions, as long as the visibility standard is satisfied. A dwelling on a lot created pursuant to Section 10.1520 may use a private drive or future street to comply with this provision.

2. Street Pedestrian Connection Options. Except for homes on the flag portion of flag lots, at least one of the following shall be provided:

a. Separate Walkway. A separate, minimum three foot wide hard surfaced walkway directly from the public sidewalk to the front door; or

b. Combined Walkway. A minimum three foot wide hard surfaced walkway from the public sidewalk to the front door with at least a portion of the walkway combined at the edge of the driveway. The walkway width must extend at least 3 feet beyond the edge of the garage door (see Figure 4.0132(D)(2)(b)).

City of Gresham Development Code (10/16)
[4.01]-13
Figure 4.0132(D)(2)(b): Combined walkway width extending beyond garage door

3. Street Surveillance Options. At least one of the following shall be provided:

a. Ground Level Outdoor Surveillance Area. A minimum 40 square foot covered, hard-surfaced entry area is placed immediately adjacent to the front door; or

b. Upper Level Outdoor Surveillance Area. A minimum 30 square foot second story covered or open porch, balcony or deck is placed on the front of the dwelling; or

c. Dwelling Front Location. The front of the dwelling (not including the garage) or of a covered entry has maximum setback of 16 feet; or

d. Dwelling and Garage Front Location. The front of the garage is flush with the front of the dwelling or is recessed back from the front of the dwelling.

E. Land Divisions with Left-Over Parcels

An application for a land division may have a “left-over” parcel or portion of the property which is capable of further development and which is not included as part of a phased subdivision. The area of up to two such parcels may be excluded from the average lot size calculation provided that a future development plan is submitted which demonstrates that the parcel(s) can be developed consistent with applicable standards

Parcels created under this provision may not be developed until:

a. Lots are created pursuant to Article 6 - Land Divisions, which are consistent with the standards of the LDR-5, LDR-7 , TLDR and TR Districts (as appropriate) and other applicable provisions of the Community Development Code; or

b. Approved through the Special Use Review process found in Section 8.0100

The applicant shall file a note of the plat or other documents in the office of the County Recorder that such left-over parcel(s) shall not be developed until lots are created pursuant to Article 6Land Divisions, which are consistent with the standards of the LDR-5, LDR-7, TLDR, and TR Districts (as appropriate) and other applicable provisions of the Community Development Plan; or approved through the Special Use Review process found in Section 8.0100

F. All developments shall also be subject to the applicable requirements of Section 4.0130; Article 9 - Common Requirements; and Section A5.000 - Public Facilities.

4.0133 Single-Family Attached Dwelling Standards for Phasing and Design Review

A. If a phased development or subdivision is proposed for a development that includes single family attached dwellings, the first phase shall conform to density requirements without consideration of subsequent phases. Later phases shall conform to density requirements in a cumulative fashion, taking into account previous phases and while continuing to meet density standards at each phase. This is calculated by adding the number of lots for the current phase and all previous phases and dividing by the acreage of the current phase (taking into account subtractions in the “Net Density” definition) and all previous phases. The result shall meet the applicable density standard.

B. All developments that include single family attached dwellings shall receive both land division approval to create lots for the single family attached dwellings as required in Article 6, and design review approval as required in Article 7.

Recording of the plat for the land division shall be a condition of approval of both design review and the issuance of building permits for single family attached dwellings.

[4.01]-14

City of Gresham Development Code (10/16)

4.0134 Standards for Residential Districts Other Than LDR-5, LDR-7, TLDR and TR

A. Building Height requirements for MDR-24 District. Three stories or 40 feet unless equipped with built-in fire protection systems. When fire sprinklers, alarms, and, when needed, enclosed, pressurized exit stairwell systems are provided, the building height can be increased to 45 feet.

B. Limited Business and Retail Service and Trade in OFR District Limited Business and Retail Service and Trade are permitted in office complexes when all of the following standards are met:

1. The uses are scaled to service the tenants of the office complex or surrounding office area.

2. The uses do not exceed 20% of the total office floor area of a new or existing structure.

3. The commercial uses are not developed prior to the office uses on which the 20% area is based.

4. Siting and signage are internally oriented.

C. Moderate Density Residential District-12: A lot of record which is less than 10,000 square feet may be developed for all uses permitted in this district, except a manufactured dwelling park when in compliance with the other requirements of the Moderate Density Residential-12 District.

D. Moderate Density Residential District-24: A lot of record which is less than 11,000 square feet may be developed for all uses permitted in this district. Attached dwellings may be developed on a lot of record which is less than 11,000 square feet when in compliance with the following density requirements:

1. Minimum net density = a duplex

2. Maximum net density = 24.2 units per acre

E. Office/Residential District: A lot of record which is less than 7,200 square feet may be developed for all uses permitted in this district, except an attached dwelling when in compliance with the other requirements of the Office/Residential District.

F. All developments shall also be subject to the applicable requirements of Section 4.0130; Article 9- Common Requirements; and Section A5.000 - Public Facilities.

4.0135 Single Family and Duplex Construction on a Lot

A. The construction of a single-family detached dwelling, manufactured home or duplex in an LDR-5, LDR-7, TR or TLDR District, or single-family attached dwelling in the TR or TLDR District on a lot within an approved land division where sewer lines, water lines, storm drainage facilities, and streets are constructed to the city standards that were in effect when the land division was approved, and (in the case of single-family attached dwellings in TR or TLDR) an active design approval is in effect or the land division predated said requirement, shall be reviewed under the Type I procedure to determine if the proposal meets the site development requirements in Standards Section 4.0130 or in the Variation to Development Standards of Section 6.0321 (Planned Development) of the Gresham Community Development Code. The property owner shall still obtain all required permits.

B. The construction of a single-family detached dwelling, manufactured dwelling or duplex or single family attached dwelling that does not meet the requirements of Subsection (A) shall also be reviewed under the Type I procedure except that this review shall focus on street and utility requirements for new construction as per Section A5.000.

City of Gresham Development Code (10/16)
[4.01]-15

C. Except as provided by Section 5.0328, the Manager may approve alterations to existing singlefamily detached dwellings under the Type I procedure. The proposal need not comply with Section A5.000 of the Community Development Code. If the application for an alteration to a single-family detached dwelling is processed with another development permit application, all the standards of the Community Development Code shall apply.

4.0136 Manufactured Dwelling Requirements

A. An application for a development permit for a manufactured dwelling shall provide proof that the proposed manufactured dwelling meets the definition of manufactured dwelling as stated in Article 3.

B. The manufactured dwelling shall be multi-sectional and enclose a space of not less than 1,000 square feet.

C. The manufactured dwelling shall be placed on, and attached to, an excavated and back-filled foundation and enclosed at the perimeter such that the manufactured dwelling is located not more than 12 inches above grade.

The measurement is taken from the top of the foundation to grade. In the case of a sloped lot the foundation may be stepped down with a maximum of 30" of masonry exposed. Supporting framing material shall have coverings of siding material matching the siding material of the manufactured dwelling.

D. The manufactured dwelling shall have a pitched roof with a nominal slope of at least 3 feet in height for each 12 feet of width.

E. The manufactured dwelling shall be certified by the manufacturer to have an exterior thermal envelope meeting performance standards which reduce heat loss to levels equivalent to the performance standards required of single-family dwellings constructed under the State’s building code as defined in ORS 455.010.

F. The manufactured dwelling shall have a garage or carport with exterior materials matching the manufactured dwelling.

4.0137 Accessory Dwellings

The establishment of an accessory dwelling unit may be allowed in conjunction with single-family detached dwellings in the LDR-5, LDR-7, TR and TLDR districts. Accessory dwellings may be permitted as a means of providing more affordable housing opportunities for young families, empty nesters and others. Accessory dwellings can encourage additional density with minimal cost and disruption to surrounding neighborhoods; allow individuals and smaller households to retain large houses as residences; provide convenient care for the elderly and infirm on a long-term basis; and allow more energy-efficient use of large, older homes. Refer to Section 10.0100 for Accessory Dwelling development requirements.

City of Gresham Development Code (10/16)
[4.01]-16

4.0138 Residential Compatibility Standards for LDR-5, LDR-7, TLDR and TR

A. Purpose. These standards are intended to provide safe, connected neighborhoods at a compatible scale supported by public street systems and to establishing special height, bulk and setback requirements.

B. Standards for Non-Standard Lots, Except Flag Lots. The following standards apply to new residential development on existing or proposed lots in LDR-5, LDR-7, TLDR or TR that are non-standard but not flag lots. A non-standard residential lot or parcel is one that does not meet the standard lot depth, width, size, or frontage requirements for the district.

In addition, the Manager may require compliance with these standards by future development as a condition of approval for any land division which abuts existing single family residential development and which requires an adjustment or variance pursuant to Section 10.1500. When required, findings must support compliance with these standards as a condition of approval in order to help preserve the character of existing residential neighborhoods.

1. Residential Floor Area Ratio (FAR). In order to preserve the residential character of existing neighborhoods and limit the mass of residential buildings in relation to the lot area, the following floor area standards are established:

a. Residential Building Size Standard. The floor area on any lot proposed for residential development shall not exceed the following (see Figure A12.002, Appendix 12.000):

Lots with less than 4,000 square feet of effective lot area – 60 percent of the effective lot area.

Lots with 4,000 to 8,000 square feet of effective lot area – 2,000 square feet plus 10 percent of the effective lot area.

Lots with greater than 8,000 square feet of effective lot area – this standard does not apply.

b. For the purposes of this section, “floor area” does not include unenclosed areas such as decks or porches and up to 500 square feet of garage space.

c. Effective Lot Area. As used in Section 4.0138, “effective lot area” is the gross horizontal area of a lot minus any portion of the lot encumbered by an access easement (see Figure A12.003, Appendix 12.000).

2. Building Height Setback (Rear and Side Yards). To provide compatible building scale and privacy between developments, taller buildings shall set back further to create a building height transition to neighboring residence(s). (See Figure A12.005, Appendix 12.000).

a. This standard applies to new non-standard lot development over 20 feet in height that is not on a flag lot.

b. For every foot of height over 20 feet, an additional six (6) inches of setback shall be added to the standard rear and/or side yard setback required by Table 4.0130 E The additional setback(s) shall only be required along those property lines that are shared with existing or planned single family residence(s).

City of Gresham Development Code (10/16)
[4.01]-17

c. Porches, bay windows and decks may intrude into the required additional setbacks provided they are less than 20 feet in height.

3. Developments required to comply with Section 4.0138(B) are exempt from Section 4.0138(D)

C. Standards for Flag Lots

The following requirements apply to new development or expansions on existing or proposed lots in LDR-5, LDR-7, TLDR or TR that are flag lots whether the flag pole is part of the flag lot or the pole portion is an access easement. Flag lots and flag poles are defined in Article 3

1. Process. Flag lots shall require a Type II Adjustment pursuant to Section 10.1520, Reduction in Minimum Street Frontage.

2. Minimum setbacks for the flag portion of the flag lot are:

a. Front and side: 10 feet.

b. Rear with no alley: 10 feet.

c. Rear with an alley: 6 feet.

3. Height limits for flag lot structures are:

a. Structures with roofs with a pitch less than 1 foot for each 4 feet of horizontal distance: 22 feet.

b. Structures with a butterfly or mansard roof: 22 feet.

c. Structures with pitched roofs not listed in (b) of this subsection where the pitch is equal to or greater than 1 foot for each 4 feet of horizontal distance: 30 feet.

4. Flag lots must comply with the applicable provisions of Section 9.0100 – Buffering and Screening Requirements.

5. Creation of flag lots:

a. Permanent flag lots may be created only when mid-block streets or alleys cannot be extended to serve future development. Implementation of a Future Street Plan, pursuant to Section 9.0700, identifying mid-block streets shall be required whenever practicable as an alternative to approving a permanent flag lot (see Figure A12.006, Appendix 12.000).

For the purposes of this section “whenever practicable” shall mean other than as prevented by a topographic or natural feature, a transportation or public facility (e.g., an existing roadway, rail line, or school), or other feature of a fixed nature. Existing dwellings, other than those on the Gresham Historic and Cultural Overlay District or National Register, existing lot patterns, and financial inability or lack of willing participants shall not preclude a Future Street Plan if future redevelopment and lot consolidation is possible.

b. Interim flag lots may be allowed in conjunction with an approved Future Street Plan in order to allow infill development to occur prior to construction of the future street.

6. Driveways related to flag lots:

a. A flag lot driveway (i.e., flag pole) may serve no more than two (2) flag lots.

[4.01]-18

City of Gresham Development Code (10/16)

b. A drive serving more than one lot shall have a reciprocal and shared access and maintenance access easement agreement recorded for all lots. No fence, structure or other obstacle shall be placed within the drive area (see Figure A12.001, Appendix 12.000).

c. Driveway width. All driveways serving flag lots, whether on a flag lot parcel or an easement, shall have a minimum travel lane width of 12 feet and a minimum planter strip width of 3 feet. The planter strip shall be located between the pole portion of the flag lot and the neighboring parcel(s) and shall extend the length of the driveway (See Figure A12.001, Appendix 12.000). The maximum width is 20 feet, except as required by the Oregon Fire Code.

d. Maximum driveway length. The maximum driveway length is subject to requirements of the Oregon Fire Code and shall not exceed 150 feet.

7. Lot Area. Flag poles or flag pole easements shall be considered not buildable and shall not be included in lot size calculations. Density shall be based on effective lot area. (See Figure A12.003, Appendix 12.000). As used in Section 4.0138, “effective lot area” is the gross horizontal area of a lot minus any portion of the lot encumbered by an access easement, including the pole of a flag lot (see Figure A12.003, Appendix 12.000).

8. Additional Requirements for Interim Flag Lots.

a. Interim flag lots shall have standard street frontage onto the proposed future street and shall take access from the future street upon its completion.

b. If an interim flag pole is not part of a planned future street, then it shall be provided via an easement and said easement shall revert to the property owner upon completion of the planned future street.

c. Future Street Plans. Building placement and alignment of shared drives shall be designed so that future street connections can be made as surrounding properties develop.

d. Future Street Dedication, Improvement and Non-remonstrance Agreements. The applicant/owner may be required to dedicate right-of-way to support a future street plan. The dedication shall be so indicated on the face of the subdivision or partition plat. Pursuant to Section A5.408, street improvements shall be made consistent with public works standards and subject to the requirements of the Oregon Fire Code. An improvement agreement or non-remonstrance agreement may be required to ensure future improvements or participation in a Local Improvement District.

D. Standards for New Residential Development Adjacent to Existing Low-scale Development

1. Intent: In situations where new or expanding residential development is next to an older single-family detached dwelling or duplex in certain districts, the new development should be limited in volume such that a two-story house is allowed with the potential for a third story that has less volume and square footage than the first two stories. This is intended to reduce the difference in scale and massing on the two lots and limit the potential number of views onto the abutting, existing property from proposed structure’s windows.

City of Gresham Development Code (10/16)
[4.01]-19

2. Applicability:

These standards apply to expansion of existing residential structures where building volume is being increased and to construction of new single-family detached dwellings, duplexes, single-family attached dwellings and associated accessory structures in the following circumstances.

The lot abutting the proposed development has the following characteristics:

a. The abutting lot is in LDR-5, LDR-7, TR or TLDR; and

b. A single-family detached dwelling or duplex exists that has been on the lot for at least 10 years; and

c. The existing single-family detached dwelling or duplex is less than or equal to 15 feet tall, which means buildings with flat roofs are less than or equal to 15 feet tall and buildings with pitched roofs measure 15 feet or less from the ground to the highest exterior portion of the eave; and

d. When the shared property line is:

1. The side lot line for both lots and the existing single-family detached dwelling or duplex on the lot is within 15 feet of the shared property line between its lot and the lot with the new construction or expansion; or

2. The rear lot line of the lot with the existing single-family detached dwelling or duplex and the side lot line of the lot with the proposed development and the existing single-family detached dwelling or duplex on the lot is within 30 feet of the shared property line; and

3. The lot with the proposed development is in LDR-5, LDR-7, TR or TLDR or is a new or expanding single-family attached structure on a lot abutting a single-family dwelling or duplex in LDR-5, LDR-7, TR or TLDR.

3. Standards:

Buildings shall comply with a compatibility angle that limits the volume of buildings on the site. The angle is determined in the following manner and is shown in Figure 4.0138(D)(3):

a. The starting point for the compatibility angle shall be the midpoint of the lot line of the existing dwelling. (See Figure 4.0138(D)(3)(a)). If a retaining wall is located at the property line’s midpoint, the starting point shall begin halfway between the ground at the bottom of the wall and the top of the wall.

City of Gresham Development Code (10/16)
[4.01]-20
Figure 4.0138(D)(1): Intent for smaller third floor

b. From the midpoint, a horizontal plane perpendicular to the ground and 17 feet directly above the lot line shall be established. Then a plane shall be established at a 45-degree angle inward over the property with the new or expanding development, rising 1 foot of additional rise for each 1 foot from the lot line.

c. A potential adjustment may be allowed for lots on existing slopes where the compatibility angle restricts the building volume more than intended in Section 4.0138(D)(1). It does not apply to lots where the grade has been artificially raised. Adjustments shall meet the following standards:

1. Lots intended for proposed development that have existing slopes as described above can apply for the vertical plane to be raised if the compatibility angle results in a height at the 5-foot setback that is less than 20 feet on the portion of the lot where the applicant intends to build a structure; and

2. The applicant requesting the change in vertical plane shall demonstrate that the development cannot comply with the compatibility angle by changing the location of the building because of Habitat Conservation Area, steep slopes, existing structures, tree preservation or similar constraints; and

3. The revision shall be approved at the discretion of the Manager; and

4. The revision shall conform to the intent of the compatibility angle to limit side wall heights to 22 feet facing the lot with the existing single-family detached dwelling or duplex that meets the standards in Section 4.0138(D)(2)

d. If the compatibility angle results in a height at the 5-foot setback that is more than 26 feet in the area where the applicant intends to build a structure, the 17-foot vertical plane may be lowered at the discretion of the Manager until the compatibility angle results in a 22-foot height at the 5-foot setback. The angle would be lowered to meet the intent of Section 4.0138(D)(1).

e. Solar collection equipment, vents, antennas and chimneys may project beyond the 45-degree compatibility angle. The maximum projection for solar collection equipment shall be 18 inches. For additional solar energy system standards, see Section 10.0900 Renewable Energy.

[4.01]-21 City of Gresham Development Code (10/16)
Figure 4.0138(D)(3): Compatibility angle

4.0139 Large Lot Subdivision Option for LDR-5 and LDR-7

A. This subsection is intended to provide for a greater range of housing choices in the city by making available as an option to property owners/applicants the opportunity to create a subdivision that has an average lot size within the 8,000 sq. ft. to 14,000 sq. ft. range in LDR-5 or LDR-7. Large lot subdivisions are not required to comply with the minimum density standard of the underlying LDR-5 or LDR-7 District. They shall be processed in the same manner as other subdivisions and subject to the applicable land division requirements of the development code. Subdivision lots created using the Large Lot Subdivision Option are not eligible for further land division.

B. Standards for large lot subdivisions. The following standards apply to large lot subdivisions:

1. A large lot subdivision must have an average lot size of at least 8,000 square feet and less than 14,000 square feet.

2. The minimum lot size in a large lot subdivision shall be 8,000 square feet.

3. Large lot subdivisions are restricted to detached single-family dwellings.

4. Minimum subdivision lot dimensions/yard setbacks:

Minimum subdivision lot dimensions: Lot width at building line

(interior and corner lots): 50 feet

Lot depth (interior and corner lots): 100 feet

Minimum front yard setback: All structures: 20 feet

Minimum side yard setbacks: Interior side: 7.5 feet

[4.01]-22 City of Gresham Development Code (10/16)
Figure 4.0138(D)(3)(a): Midpoint example

Street side wall: 15 feet

Street side porch: 9 feet

Street side garage access: 20 feet

Minimum rear yard setbacks:

Rear (no alley): 25 feet

Rear (with alley): 9 feet

5. Unless otherwise noted above, all other LDR-5 or LDR-7 standards and requirements apply to large lot subdivisions.

4.0140 Solar Energy Standards for Residential Districts

Solar energy systems are limited in residential districts as follows:

A. Scale.

1. LDR-5, LDR-7, TLDR and TR: Small scale solar energy systems are permitted in these districts.

2. MDR-12, MDR-24 and OFR: Small and medium scale solar energy systems are permitted in these districts. Large scale systems are permitted with a Special Use Review.

B. Type.

1. LDR-5, LDR-7, TLDR and TR: Roof-top, flat-roof, integrated and ground-mounted solar energy systems are permitted in these districts.

2. MDR-12, MDR-24 and OFR: Roof-top, flat-roof, integrated and ground-mounted solar energy systems are permitted in these districts.

C. Height.

1. LDR-5, LDR-7, TLDR and TR: The following limitations on maximum height apply to solar energy systems in these districts:

a. Roof-top, Flat-roof and Integrated. Systems shall not exceed the district height limit in which they are located and shall not exceed the roof peak height of the portion of the roof on which the system is installed.

b. Ground-mounted. Systems shall not exceed 6 feet in height.

2. MDR-12, MDR-24 and OFR: The following limitations on maximum height apply to solar energy systems in these districts:

a. Roof-top, Flat-roof and Integrated.

i. For roofs that are flat or the horizontal portion of mansard roofs, the solar energy systems on frames shall not exceed 10 feet above the roof height on which the system is installed.

ii. For pitched, hipped or gambrel roofs, the solar energy system panels shall not exceed 18 inches in height from the surface of the roof on which the system is installed.

City of Gresham Development Code (10/16)
[4.01]-23

b. Ground-mounted. Ground-mounted solar energy systems shall not exceed 20 feet in height.

D. Setbacks and Yards.

1. LDR-5, LDR-7, TLDR and TR: Solar energy systems are not allowed in the required front, street-side or side setbacks and are not allowed in the front or street-side yard between the building and the street in these districts.

2. MDR-12, MDR-24 and OFR: Solar energy systems are not allowed in the required front setback or in the street-side setback and are not allowed in the front yard between the building and the street in these districts.

4.0141 Wind Energy Standards for Residential Districts

Wind energy systems are limited in residential districts as follows:

A. Scale.

1. LDR-5, LDR-7, TLDR and TR: Small scale wind energy systems are permitted in these districts.

2. MDR-12, MDR-24 and OFR: Small and medium scale wind energy systems are permitted in these districts.

B. Type.

1. LDR-5, LDR-7, TLDR and TR: Roof-top wind energy systems are permitted in these districts.

2. MDR-12, MDR-24 and OFR: Roof-top and ground-mounted wind energy systems are permitted in these districts.

C. Height.

1. LDR-5, LDR-7, TLDR and TR: The following limitations on maximum height apply to wind energy systems in these districts:

a. Roof-top. Wind energy systems shall not exceed the district height limit in which they are located and shall not exceed 10 feet above the height of the roof on which the system is installed.

2. MDR-12, MDR-24 and OFR: The following limitations on maximum height apply to wind energy systems in these districts:

a. Roof-top. The height of roof-top wind energy systems shall not exceed a value equal to 10 feet above the height of the roof on which the system is installed. Additionally, the building height plus the wind energy system height together shall not exceed 45 feet.

b. Ground-mounted. The height of ground-mounted wind energy systems shall not exceed 45 feet as measured from the grade at the base of the equipment to the top of the system.

D. Setbacks and Yards.

1. LDR-5, LDR-7, TLDR and TR: Wind energy systems are not allowed in the required front, street-side, side or rear setbacks or in any yards in these districts.

[4.01]-24

City of Gresham Development Code (10/16)

2. MDR-12, MDR-24 and OFR: Wind energy systems are not allowed in the required front, street-side, side or rear setbacks, and are not allowed in the front or street-side yards between the building and the street in these districts.

4.0142 Biomass Energy Standards for Residential Districts

Biomass energy systems are limited in residential districts as follows:

A. Scale.

1. LDR-5, LDR-7, TLDR and TR: Small scale biomass energy systems are permitted in these districts with a Special Use Review.

2. MDR-12, MDR-24 and OFR: Small scale biomass energy systems are permitted in these districts.

B. Type.

1. LDR-5, LDR-7, TLDR and TR: Non-hazardous biomass systems are permitted in these districts.

2. MDR-12, MDR-24 and OFR: Non-hazardous biomass systems are permitted in these districts.

C. Height.

1. LDR-5, LDR-7, TLDR and TR: Biomass energy systems shall not exceed the maximum district height limits in these districts.

2. MDR-12, MDR-24 and OFR: Biomass energy systems shall not exceed the maximum district height limits in these districts.

D. Setbacks and Yards.

1. LDR-5, LDR-7, TLDR and TR: Biomass energy systems are not allowed in the required front, street-side, side or rear setbacks, and are not allowed in front or street-side yards between the building and the street, or in side yards in these districts.

2. MDR-12, MDR-24 and OFR: Biomass energy systems shall not be allowed in the required front, street-side, side or rear setbacks, and are not allowed in the front or street-side yards between the building and the street, or in side yards in these districts.

4.0143 Geothermal Energy Standards for Residential Districts

Geothermal energy systems are limited in residential districts as follows:

A. Scale.

1. LDR-5, LDR-7, TLDR and TR: Small scale geothermal energy systems are permitted in these districts.

2. MDR-12, MDR-24 and OFR: Small scale geothermal energy systems are permitted in these districts. Large scale systems are permitted with a Special Use Review.

B. Type.

1. LDR-5, LDR-7, TLDR and TR: Closed-loop geothermal energy systems that are not in any well field protection areas are permitted in these districts.

2. MDR-12, MDR-24 and OFR: Closed-loop geothermal energy systems that are not in any well field protection areas are permitted in these districts.

[4.01]-25

City of Gresham Development Code (10/16)

C. Height.

1. LDR-5, LDR-7, TLDR and TR: Geothermal energy systems shall not exceed the maximum district height limits in these districts.

2. MDR-12, MDR-24 and OFR: Geothermal energy systems shall not exceed the maximum district height limits in these districts.

D. Setbacks and Yards.

1. LDR-5, LDR-7, TLDR and TR: Geothermal energy systems are not allowed in the required front, street-side, side or rear setbacks in these districts, except that small geothermal heating and cooling units such as heat pumps can project into the setbacks per Section 9.0900 Projections.

2. MDR-12, MDR-24 and OFR: Geothermal energy systems are not allowed in the required front, street-side, side or rear setbacks in these districts, except that small geothermal heating and cooling units like heat pumps can project into the setbacks per Section 9.0900 Projections.

4.0144 Micro-Hydro Energy Standards for Residential Districts

Micro-hydro energy systems are limited in residential districts as follows:

A. Scale.

1. LDR-5, LDR-7, TLDR and TR: Small scale micro-hydro energy systems are permitted in these districts.

2. MDR-12, MDR-24 and OFR: Small scale micro-hydro energy systems are permitted in these districts.

B. Type.

1. LDR-5, LDR-7, TLDR and TR: In-pipe micro-hydro energy systems in water, stormwater or wastewater pipes are permitted in these districts.

2. MDR-12, MDR-24 and OFR: In-pipe micro-hydro energy systems in water, stormwater or wastewater pipes are permitted in these districts.

C. Height.

1. LDR-5, LDR-7, TLDR and TR: Generally the district height limits apply in these districts. However, in-pipe systems may exceed the district height limit as allowed for mechanical equipment. If supplemental equipment structures accompany the in-pipe systems, then the district height limit would apply.

2. MDR-12, MDR-24 and OFR: Generally the district height limits apply in these districts. However, in-pipe systems may exceed the district height limit as allowed for mechanical equipment. If supplemental equipment structures accompany the in-pipe systems, then the district height limit would apply.

D. Setbacks and Yards.

1. LDR-5, LDR-7, TLDR and TR: Micro-hydro energy systems contained within piping are allowed and pipe can run within the setbacks in these districts. However, if supplemental equipment structures accompany the in-pipe systems, then the district setback limits apply

[4.01]-26

City of Gresham Development Code (10/16)

2. MDR-12, MDR-24 and OFR: Micro-hydro energy systems contained within piping are allowed and pipe can run within the required setbacks in these districts. However, if supplemental equipment structures accompany the in-pipe systems, then the district setback limits apply.

4.0150 Poultry, Livestock and Beekeeping

The keeping of poultry and livestock is permitted in the LDR-5, LDR-7, TR, TLDR, MDR-12 and MDR24 districts provided the poultry and livestock are kept over 100 feet from any residence other than the dwelling on the same lot.

See also the Gresham Revised Code Article 7.17 for specific regulations regarding the keeping of chickens and Gresham Revised Code Article 7.18 for beekeeping on lots containing single-family detached homes.

[4.01]-27 City of Gresham Development Code (10/16)
[4.01]-28 City of Gresham Development Code (10/16)

4.0201 Purpose

SECTION 4.0200 COMMERCIAL LAND USE DISTRICTS

General

Land Use District Characteristics

4.0210 Neighborhood Commercial District (NC)

4.0212 Central Rockwood and Corridor Districts

Permitted Uses

4.0220 Permitted Uses

Commercial Land Use District Standards

4.0230 Commercial Land Use District Standards

4.0231 Additional Commercial Land Use District Standards

4.0232 Solar Energy Standards for Commercial Districts

4.0233 Wind Energy Standards for Commercial Districts

4.0234 Biomass Energy Standards for Commercial Districts

4.0235 Geothermal Energy Standards for Commercial Districts

4.0236 Micro-Hydro Energy Standards for Commercial Districts

General

4.0201 Purpose

Development on lands designated Neighborhood Commercial District is permitted when consistent with the provisions of this section and all other applicable requirements of the Community Development Code.

Land Use District Characteristics

4.0210 Neighborhood Commercial District (NC)

The Neighborhood Commercial District is intended to provide for small to medium sized shopping and service facilities and limited office uses adjacent to residential neighborhoods. The district is intended to meet the shopping and service needs of the immediate neighborhood and to have minimal negative impacts on surrounding residential uses. Areas determined appropriate for Neighborhood Commercial Districts are identified on the Community Development Plan Map.

[4.02]-1 City of Gresham Development Code (10/16)

4.0212 Central Rockwood and Corridor Districts

Additional Commercial Development Districts unique to the Corridor Districts are listed in Section 4.0400. The Gresham Community Development Plan map identifies the location of these additional development districts.

Permitted Uses

4.0220 Permitted Uses

Table 4.0220 lists those uses that are permitted in each Commercial District.

• P = Permitted use

• L = Use is permitted, but is limited in the extent to which it may be permitted

• NP = Use not permitted

• SUR = Use permitted subject to a Special Use Review

Each of these uses must comply with the site development requirements of Section 4.0230-4.0231 and all other applicable requirements of the Community Development Code.

Table 4.0220: Permitted Uses in the Commercial Land Use Districts

City of Gresham Development Code (10/16)
[4.02]-2
USES NC RESIDENTIAL1 Single-Family Detached Dwelling NP Duplex NP Single-Family Attached Dwellings NP Attached Dwellings on a Single Lot NP Elderly Housing NP Manufactured Dwelling Park NP Residential Facility NP Residential Home NP COMMERCIAL Auto-Dependent Use L2 Business and Retail Service and Trade L3 Clinics NP Commercial Parking SUR Daycare Facilities SUR Live-Work NP Major Event Entertainment SUR Mini-Storage Facilities NP Outdoor Commercial NP

Table 4.0220 Notes

1 Home occupations may be permitted with a pre-existing dwelling in the NC district. Temporary health hardship dwellings may be permitted with a pre-existing single-family detached dwelling home in the NC district.

2 Limited to gas stations and similar retail uses with a maximum gross floor area of 10,000 square feet.

3 Business and Retail Service and Trade are limited to the following:

• Eating and drinking establishments with a maximum gross floor area of 3,500 square feet

City of Gresham Development Code (10/16) USES NC INDUSTRIAL Construction NP Exclusive Heavy Industrial Uses NP Industrial Office NP Information Services NP Manufacturing NP Miscellaneous Industrial NP Trade Schools NP Transportation/Distribution NP Warehousing/Storage NP Waste Management NP Wholesale Trade NP INSTITUTIONAL USES Civic Use SUR Community Services SUR Medical SUR Parks, Open Spaces and Trails SUR Religious Institutions SUR Schools SUR RENEWABLE ENERGY5 Solar Energy Systems L/SUR6 Wind Energy Systems L7 Biomass Energy Systems L8 Geothermal Energy Systems L/SUR9 Micro-Hydro Energy Systems L10 OTHER Basic Utilities Minor basic utilities Major basic utilities P SUR Heliports4 NP Wireless Communication Facilities SUR Temporary, Intermittent & Interim Uses P Marijuana Businesses L11
[4.02]-3

• Insurance, real estate, and other similar offices with a maximum gross floor area of 5,000 square feet

• Laundries, dry cleaners, barber salons, and other similar personal services with a maximum gross floor area of 5,000 square feet

• Clothing, drug stores, and similar retail trade uses with a maximum gross floor area of 10,000 square feet

• Grocery store with a maximum gross floor area of 35,000 square feet

4 Permitted as an accessory use to Medical and Civic Uses through the Special Use Review process.

5 See Section 10.0900 for additional standards that apply

6 For limitations, see Section 4.0232 Solar Energy System Standards for Commercial Districts

7 For limitations, see Section 4.0233 Wind Energy System Standards for Commercial Districts

8 For limitations, see Section 4.0234 Biomass Energy System Standards for Commercial Districts.

9 For limitations, see Section 4.0235 Geothermal Energy System Standards for Commercial Districts.

10 For limitations, see Section 4.0236 Micro-Hydro Energy System Standards for Commercial Districts.

11 For limitations, see GRC 9.63.090

Commercial Land Use District Standards

4.0230 Commercial Land Use District Standards

The site development requirements listed in Table 4.0230 are applicable to all development within the Neighborhood Commercial district. Development within this district shall also be consistent with all other applicable requirements of the Community Development Code.

[4.02]-4 City of Gresham Development Code (10/16)
A. Maximum Site Size 4 acres1 B. Minimum Lot Size 10,000 square feet C. Minimum Lot Dimensions 1. Width 2. Depth 1. 60 feet 2. 70 feet D. Minimum Yard Setbacks2 1. Front 2. Side a. interior lot b. corner lot 3. Rear 1. 20 feet 2. a. 0 feet b. 0 feet on the interior side and 15 feet on the side abutting the street3 . 3. 0 feet E. Maximum Building Height 35 feet4 F. Maximum Lot Coverage 50% G. On-Site Activities See Section 4.0231(B)5 H. Public Facilities, Site and Supplementary Requirements See Section 4.0231(C) Table 4.0230 Notes: 1 This requirement does not apply to the Springwater Plan District.
NC

2 Buffering and screening may be required in addition to these setbacks. See Section 9.0100 for the buffering and screening requirements. Also, refer to the height transition area requirement found in the Maximum Building Height Section 4.0231(A) since it can increase the minimum yard setbacks where a development abuts a residential district.

3 However, for up to fifty percent (50%) of the length of the side yard abutting a street (excluding that portion of the side yard which overlaps the required front yard), the street-side setback may be reduced to five (5) feet.

4 See Section 9.0600 - Height Transition

5 At least ninety-five percent (95%) of the business activities must be conducted within a completely enclosed structure. No more than five percent (5%) of the area devoted to business use may be used for outdoor business activities, product display, or storage.

4.0231 Additional Commercial Land Use District Standards

A. Maximum Building Height: Three (3) stories or forty (40) feet unless equipped with a built-in fire protection system. When fire sprinklers, alarms, and when needed, enclosed, pressurized exit stairwell systems are provided, the building height can be increased to sixty-five (65) feet.

B. On Site Activities:

1. No outdoor business activities, product display or storage shall be located within yard setback or buffering and screening areas.

2. Areas devoted to on-site outdoor business activities, product display or storage must be located so that they do not interfere with pedestrian circulation.

C. Public Facilities. Site and Supplementary Requirements All developments shall also be subject to the applicable requirements of Section 4.0230 - Commercial Land Use District Standards; Article 9-Common Requirements; and Appendix 5.000 - Public Facilities.

4.0232 Solar Energy Standards for Commercial Districts

Solar energy systems are limited in all commercial districts as follows:

A. Scale. Small and medium scale solar energy systems are permitted in these districts. Large scale systems are permitted with a Special Use Review.

B. Type. Roof-top, flat-roof, integrated and ground-mounted solar energy systems are permitted.

C. Height. The following limitations on maximum height apply to all solar energy systems:

1. Roof-top, Flat-roof and Integrated.

a. For roofs that are flat or the horizontal portion of mansard roofs, the solar energy systems on frames shall not exceed 10 feet above the roof height on which the system is installed.

b. For pitched, hipped or gambrel roofs, the solar energy system panels shall not exceed 18 inches in height from the surface of the roof on which the system is installed.

2. Ground-mounted. Ground-mounted solar energy systems shall not exceed 20 feet in height.

D. Setbacks and Yards. Solar energy systems are not allowed in the required front or in the street-side setbacks.

4.0233 Wind Energy Standards for Commercial Districts

Wind energy systems are limited in all commercial districts as follows:

A. Scale. Small and medium scale wind energy systems are permitted.

B. Type. Roof-top and ground-mounted wind energy systems are permitted.

C. Height. The following limitations on maximum height apply to all wind energy systems:

[4.02]-5

City of Gresham Development Code (10/16)

1. Roof-top. Wind energy system height shall not exceed a value equal to the building height when the building height is 35 feet or less. For example, a 30 foot tall building could have a 30 foot tall wind energy system installed on its roof for a total height of 60 feet from the ground to top of the wind energy system. In no case can the wind energy system exceed 35 feet in height.

2. Ground-mounted. Ground-mounted wind energy systems shall not exceed 45 feet in height.

D. Setbacks and Yards. Wind energy systems are not allowed in required front, street-side, side or rear setbacks and are not allowed in the front or street-side yards between the building and the street.

4.0234 Biomass Energy Standards for Commercial Districts

Biomass energy systems are limited in all commercial districts as follows:

A. Scale. Small scale biomass energy systems are permitted.

B. Type. Non-hazardous biomass systems are permitted.

C. Height. Biomass energy systems shall not exceed the maximum district height limits.

D. Setbacks and Yards. Biomass energy systems are not allowed in the required front, street-side, side or rear setbacks, and are not allowed in the front or street-side yards between the building and the street.

4.0235 Geothermal Energy Standards for Commercial Districts

Geothermal energy systems are limited in all commercial districts as follows:

A. Scale. Small scale geothermal energy systems are permitted. Large scale systems are permitted with a Special Use Review.

B. Type. Closed-loop geothermal energy systems that are not in any well field protection areas are permitted.

C. Height. Geothermal energy systems shall not exceed the maximum district height limits.

D. Setbacks and Yards. Geothermal energy systems are not allowed in the required front, street-side, side or rear setbacks, except that small geothermal heating and cooling units like heat pumps can project into the setbacks per Section 9.0900 Projections.

4.0236 Micro-Hydro Energy Standards for Commercial Districts

Micro-hydro energy systems are limited in all commercial districts as follows:

A. Scale. Small scale micro-hydro energy systems are permitted.

B. Type. In-pipe micro-hydro energy systems such as systems within water, stormwater or wastewater pipe are permitted.

C. Height. Generally the district height limits apply. However, in-pipe systems may exceed the district height limit as allowed for mechanical equipment. If supplemental equipment structures accompany the in-pipe systems, then the district height limit would apply.

D. Setbacks and Yards. Micro-hydro energy systems contained within piping are allowed and pipe can run within the required setbacks. However, if supplemental equipment structures accompany the in-pipe systems, then the district setback limits apply.

[4.02]-6

City of Gresham Development Code (10/16)

4.0301 Purpose

SECTION 4.0300

INDUSTRIAL LAND USE DISTRICTS

General Provisions

Industrial Land Use Districts Characteristics

4.0310 Heavy Industrial (HI)

4.0311 General Industrial (GI)

4.0320 Permitted Uses

Permitted Uses

Development Standards

4.0330 Development Standards Table

4.0331 Additional Industrial District Standards

4.0332 Solar Energy Standards for Industrial Districts

4.0333 Wind Energy Standards for Industrial Districts

4.0334 Biomass Energy Standards for Industrial Districts

4.0335 Geothermal Energy Standards for Industrial Districts

4.0336 Micro-Hydro Energy Standards for Industrial Districts

4.0341 Stormwater Green Development Practices

General Provisions

4.0301 Purpose

This section of the Community Development Code implements Section 10.313 - Industrial Land Use within Volume 2 of the Comprehensive Plan. The purposes of the Industrial Land Use Districts are to: (1) implement the Comprehensive Plan’s goals, policies, and action measures to promote economic development (2) include provisions to support viable industrial trends; and, (3) provide clear and objective standards so that implementation of the Industrial Land Use Districts is efficient, effective, and fair.

Characteristics

4.0310 Heavy Industrial (HI)

The Heavy Industrial District (HI) is intended to provide space for industrial users that may include operational characteristics that could create compatibility issues for adjacent land uses (such as noise and/or air emissions). This district also permits certain uses from the General Industrial District.

4.0311 General Industrial (GI)

The General Industrial District (GI) is primarily intended to provide space for a wide range of industrial uses, related enterprises serving primarily industrial clients, and employment oriented uses in office-type buildings. Primary uses shall include manufacturing and associated industrial uses, knowledge-based

City of Gresham Development Code (10/16)
[4.03]-1

industries (graphic communications, creative services, and information technology), research and development facilities, professional services primarily serving industrial and business clients and other industry focused uses and limited retail and commercial professional services that cater to the general public.

Permitted Uses

4.0320 Permitted Uses

Table 4.0320 lists those uses that are permitted in each Industrial District.

• P = Permitted use

• L = Use is permitted, but is limited in the extent to which it may be permitted

• NP = Use not permitted

• SUR = Use permitted subject to a Special Use Review

Each of these uses must comply with the land use district standards of this section and all other applicable requirements of the Community Development Code.

Table 4.0320: Permitted Uses in the Industrial Land Use Districts

City of Gresham Development Code (10/16)
[4.03]-2
USES HI GI RESIDENTIAL Single-Family Detached Dwelling NP NP Duplex NP NP Single-Family Attached Dwellings NP NP Attached Dwellings on a Single Lot NP NP Elderly Housing NP NP Manufactured Dwelling Park NP NP Residential Facility NP NP Residential Home NP NP COMMERCIAL Auto-Dependent Use NP NP Business and Retail Service and Trade L1 L1 Clinics L1 L1 Commercial Parking NP NP Daycare Facilities SUR SUR Live-Work NP NP Major Event Entertainment SUR SUR Mini-Storage Facilities NP NP Outdoor Commercial NP NP

Notes:

1 This includes the sale of goods and materials and of professional services to the general public. Examples include restaurants, stores, mini-marts, factory outlet stores and office supplies. Examples of professional services that cater to daily general public customers include bank branches, financial, insurance, real estate, legal, medical and dental offices.

In order to ensure that these uses are primarily intended to serve the needs of workers in the immediate area the

[4.03]-3 City of Gresham Development Code (10/16) INDUSTRIAL Construction P P Exclusive Heavy Industrial Uses P NP Industrial Office L2 P Information Services NP P Manufacturing P P Miscellaneous Industrial P L3 Trade Schools NP P Transportation/Distribution P P Warehousing/Storage P P Waste Management P/SUR4 P/SUR4 Wholesale Trade NP P INSTITUTIONAL USES Civic Uses SUR SUR Community Services L/SUR5 L/SUR5 Medical NP NP Parks, Open Spaces and Trails L/SUR6 L/SUR6 Religious Institutions L/SUR7 L/SUR7 Schools L/SUR7 L/SUR7 RENEABLE ENERGY8 Solar Energy Systems P9 P9 Wind Energy Systems L/SUR10 L/SUR10 Biomass Energy Systems L/SUR11 L/SUR11 Geothermal Energy Systems P12 P12 Hydro-Micro Energy Systems L13 L13 OTHER Basic Utilities Minor basic utilities Major basic utilities P SUR P SUR Heliports SUR SUR Wireless Communication Facilities SUR SUR Temporary, Intermittent & Interim Uses P P Marijuana Businesses L14 L14

following standards apply:

The total gross leasable square footage shall not exceed 3,000 square feet per use and shall not exceed 5,000 square feet cumulative gross leasable square footage within the same development project. For the purposes of this section, a development project is: a) a single building with less than 50,000 square feet of gross floor area that does not share common development features (such as access, parking, or utilities) with another building that has less than 50,000 square feet of gross floor area, whether or not the second building is located on the same or a different parcel or lot; or b) more than one building with less than 50,000 square feet of gross floor area that shares common development features (such as access, parking, or utilities) with another building that has less than 50,000 square feet of gross floor area, whether or not the buildings are located on the same or a different parcel or lot; or c) a single building with 50,000 square feet or more of gross floor area. Shall not be permitted in a stand-alone building and instead be included within a building whose primary purpose is for an industrial use.

2 Only administrative offices which are related to the operation of the industrial use of the property are permitted in the HI. Up to 20% of the total floor area may consist of these administrative offices. Multiple tenant office buildings are prohibited.

3 Auto and truck salvaging and wrecking are not permitted in GI. All other miscellaneous industrial uses located adjacent to properties that are residentially designated land shall be located at least 100 feet from the residential property.

4 Waste Management uses are permitted uses, except for solid waste transfer station, composting facilities, and landfills, which are subject to a Special Use Review. When located in the GI, waste management uses adjacent to residentially designated land shall be located at least 100 feet from the residential property.

5 The following Community Service Uses are not permitted in the HI and GI districts: adult or senior centers, drug and alcohol treatment facilities, cemeteries, and mausoleums.

6 The following Parks, Open Spaces, and Trails are not permitted in the HI and GI districts: public urban plazas, public neighborhood parks, public community parks, and golf courses. However, public urban plazas, public neighborhood parks, and public community parks are permitted in the HI and GI districts when an applicant demonstrates that title for the parcel(s) where the facility is to be developed was held by the governing body for the applicant as of April 2, 2009.

7 Religious institutions, elementary schools, middle schools and high schools are permitted in the HI and GI districts when an applicant demonstrates that title for the parcel(s) where the facility is to be developed was held by the governing body for the applicant as of April 2, 2009.

8 See Section 10.900 for additional standards that apply

9 For limitations, see Section 4.0332 Solar Energy System Standards for Industrial Districts

10 For limitations, see Section 4.0333 Wind Energy System Standards for Industrial Districts

11 For limitations, see Section 4.0334 Biomass Energy System Standards for Industrial Districts.

12 For limitations, see Section 4.0335 Geothermal Energy System Standards for Industrial Districts.

13 For limitations, see Section 4.0336 Micro-Hydro Energy System Standards for Industrial Districts

14 For limitations, see GRC 9.63.090

City of Gresham Development Code (10/16)
[4.03]-4

Development Standards

4.0330 Development Standards Table

Table 4.0330 summarizes development standards which apply within the Industrial Land Use Districts. The standards contained in this table are supplemented by the referenced subsections and footnotes, which provide additional clarification and guidance.

Table 4.0330 Development Standards for the Heavy Industrial and General Industrial Districts

[4.03]-5 City of Gresham Development Code (10/16)
HI GI A. Minimum Lot Size None: See Section 4.0331(A) None: See Section 4.0331(A) B Minimum Average Floor Area Ratio (FAR) None None C Minimum Building Setbacks 20 feet front & street side; 0 feet for interior side and rear 20 feet front & street side; 0 feet for interior side and rear D Minimum Building Height None None E Maximum Building Height None None F Height Transition Standards See Section 9.0600 See Section 9.0600 G. Minimum Off-Street Parking Required See Section 9.0851 See Section 9.0851 H Maximum Off-Street Parking See Section 9.0851 See Section 9.0851 I Pedestrian Circulation and Standards See Section 7.0203 See Section 7.0203 J Screening & Buffering See Section 9.0100 See Section 9.0100 K. Landscaping See Section 7.0203 See Section 7.0203 L Outdoor Uses and Outdoor Storage Uses Yes; 100% of the site area may include outdoor uses and outdoor storage associated with industrial uses Screening required, see Sections 4.0331(B) and 9.0100 Yes; no more than 50% of the site area may include outdoor uses and storage associated with industrial uses Screening required, see Sections 4.0331(B) and 9.0100 M Parking, Loading and Unloading Area Standards See Section 4.0331(C) and 9.0800 See Section 4.0331(C) and 9.0800 N External Effects See Section 4.0331(D) See Section 4.0331(D) O Mechanical Equipment Screening See Section 4.0331(E) See Section 4.0331(E) P Exterior Building Treatment See Section 4.0331(F) See Section 4.0331(F) Q. Well Field Protection See Section 4.0331(G) See Section 4.0331(G) R Public Facility Site and Supplementary Requirements See Section 4.0331(H) See Section 4.0331(H) S. Stormwater Management See Section 4.0341 See Section 4.0341

4.0331 Additional Industrial Land Use District Standards

A. Lot Area. Division of lots or parcels are permitted as follows:

1. Lots or parcels 50 acres or smaller may be divided into any number of smaller lots or parcels.

2. Undeveloped lots, parcels, or tracts larger than 50 acres in size may be divided into smaller lots, parcels, or tracts so long as the resulting land division yields at least one lot, parcel, or tract of at least 50 acres in size. If a land division results in more than one lot, parcel, or tract of 50 acres or greater in size, only one of those 50+ acre lots, parcels, or tracts, if further divided, must yield a lot, parcel, or tract of at least 50 acres in size.

3. Development lots or parcels 50 acres or larger in size may be divided into any number of smaller lots or parcels pursuant to a master plan approved by the city so long as at least 40 percent of the net area or the lot or parcel has already been developed with industrial uses or uses accessory to industrial uses, and no portion of the lot is developed, or proposed to be developed, with uses considered Business and Retail Service and Trade

4. Notwithstanding parts (2) and (3) of this subsection, any lot or parcel may be divided into smaller lots or parcels or made subject to right-of-ways for the following purposes:

a. To provide public facilities and services;

b. To separate a portion of a lot or parcel in order to protect a natural resource, to provide a public amenity, or to implement a remediation plan for a site identified by the Oregon Department of Environmental Quality pursuant to ORS 465.225:

c. To separate a portion of a lot or parcel containing a nonconforming use from the remainder of the lot or parcel in order to render the remainder more practical for a permitted use; or

d. To allow the creation of a lot for financing purposes when the created lot is part of a master planned development.

B. Outdoor Uses to be Screened

1. All outdoor storage uses shall be screened from adjacent properties by a six foot high sightobscuring fence or wall.

2. All screened or walled outdoor use and storage areas which abut a public street shall be set back a minimum of 25 feet from the property line(s). Within that setback area trees and evergreen shrubs shall be planted. The plants shall be of such a variety and arranged so as to allow only minimum gaps between foliage of mature trees and plants within four years of planting.

3. Alternate plan: an applicant may propose a reduction in the minimum setback required in (2) above to a minimum of at least 20 feet by providing a detailed plan with specifications for landscaping and screening, including plantings, fences, walls, walks, berms and other features designed to afford the degree of the desired screening. The manager may approve an alternative plan if proposed buffering and screening makes up for the lack of horizontal distance and the result minimizes any impact that the storage has to the public street.

C. Parking, Loading and Unloading Areas

1. Parking, loading and unloading areas shall not be located within the required setback.

2. No loading or unloading facilities shall be located adjacent to lands designated for residential uses or parks if there is an alternative location of adequate size adjacent to

City of Gresham Development Code (10/16)
[4.03]-6

commercial, industrial or other institutional uses.

D. External Effects

1. In the GI district, the emission of air pollutants or odorous gasses and changes in temperature detectable by the human senses without the aid of instruments at any point beyond the property line is prohibited.

2. In both the HI and GI districts, electrical disturbances which interfere with the normal operation of equipment or instruments on adjacent properties are prohibited.

3. In the GI district, except for exterior lighting, operations producing heat or glare shall be conducted entirely within an enclosed building.

4. In the GI district, loud, unnecessary, or unusual noise which endangers health, peace or safety is prohibited.

5. Prior to the City taking any action on a Type I, Type II or Type III land use application or on issuance of certificate of occupancy information sufficient to determine the degree of compliance shall be furnished by the applicant. Such request may include continuous records of operations, for periodic checks to ensure maintenance of standards, or for special surveys.

E. Mechanical Equipment

Roof mounted mechanical equipment such as ventilators and ducts for buildings located adjacent to residential districts, major arterial or standard arterial streets or transit streets shall be contained within a completely enclosed structure that may include louvers, latticework, etc. Screening shall obscure mechanical equipment at elevation.

F. Exterior Building Treatment in the GI District

In the GI District, unfinished metal structure siding shall not be the major (over 50%) exterior material. Materials such as finished metal, wood, tilt-up concrete, masonry or glass should be the primary structural siding materials.

G. Well Field Protection

Industrial and commercial development may be subject to the provisions of Gresham Revised Code Article 5.75 Well Field Protection.

H. Public Facility Site and Supplementary Requirements

All developments shall also be subject to the applicable requirements of Sections 4.0320 and 4.0341; Article 9 – Common Requirements and Appendix 5.000 - Public Facilities.

4.0332 Solar Energy Standards for Industrial Districts

Solar energy systems are limited in all industrial districts as follows:

A. Scale. Small, medium and large scale solar energy systems are permitted.

B. Type. Roof-top, flat-roof, integrated and ground-mounted solar energy systems are permitted.

C. Height. The following limitations on maximum height apply to all solar energy systems:

1. Roof-top, Flat-roof and Integrated. The solar energy systems on frames shall not exceed 10 feet above the roof height on which the system is installed.

2. Ground-mounted. Ground-mounted solar energy systems shall not exceed 20 feet in height.

D. Setbacks and Yards. Solar energy systems are not allowed in the required front or street-side

[4.03]-7

City of Gresham Development Code (10/16)

setbacks.

4.0333 Wind Energy Standards for Industrial Districts

Wind energy systems are limited in all industrial districts as follows:

A. Scale. Small, medium and large scale wind energy systems are permitted. Large scale systems require a Special Use Review when the system is:

1. Located on a building or on a site that is a historic, cultural or archeological resource; or

2. Located adjacent to residentially designated lands.

B. Type. Roof-top and ground-mounted wind energy systems are permitted.

C. Height. The following limitations on maximum height apply to all wind energy systems:

1. Roof-top. Wind energy system height shall not exceed a value equal to 45 feet above the roof top.

2. Ground-mounted. Ground-mounted wind energy systems shall not exceed 110 feet in height.

D. Setbacks and Yards. Wind energy systems are not allowed in the required front, street-side, side or rear setbacks

4.0334 Biomass Energy Standards for Industrial Districts

Biomass energy systems are limited in all industrial districts as follows:

A. Scale. Small scale biomass energy systems are permitted. Large scale systems are permitted with a Special Use Review.

B. Type. Non-hazardous biomass systems are permitted.

C. Height. Biomass energy systems shall not exceed the maximum district height limits.

D. Setbacks and Yards. Biomass energy systems are not allowed in the required front, street-side, side or rear setbacks.

4.0335 Geothermal Energy Standards for Industrial Districts

Geothermal energy systems are limited in all commercial districts as follows:

A. Scale. Small or large scale geothermal energy systems are permitted.

B. Type. Closed-loop geothermal energy systems that are not in any well field protection areas are permitted.

C. Height. Geothermal energy systems shall not exceed the maximum district height limits.

D. Setbacks and Yards. Geothermal energy systems are not allowed in the required front, street-side, side or rear setbacks, except that small geothermal heating and cooling units like heat pumps can project into the setbacks per Section 9.0900 Projections.

4.0336 Micro-Hydro Energy Standards for Industrial Districts

Micro-hydro energy systems are limited in all industrial districts as follows:

A. Scale. Small scale micro-hydro energy systems are permitted.

B. Type. In-pipe micro-hydro energy systems such as systems within water, stormwater or wastewater pipe are permitted.

C. Height. Generally the district height limits apply. However, in-pipe systems may exceed the district height limit as allowed for mechanical equipment. If supplemental equipment structures

[4.03]-8

City of Gresham Development Code (10/16)

accompany the in-pipe systems, then the district height limit would apply.

D. Setbacks and Yards. Micro-hydro energy systems contained within piping are allowed and pipe can run within the required setbacks. However, if supplemental equipment structures accompany the in-pipe systems, then the district setback limits apply

4.0341 Green Development Practices for Stormwater Management

Green Development Practices, such as rain gardens, stormwater planters, and porous pavement, manage stormwater runoff as close as possible to its source and use natural processes such as retention, infiltration, and evapotranspiration to treat and reduce the volume of stormwater runoff that drains into downstream water bodies. They are a toolbox of techniques that help a developed property mimic predevelopment natural hydrology, reducing any negative off-site impacts. Through the use of Green Development Practices local and downstream flooding impacts will be minimized and water quality and aquatic habitat will be protected to the maximum extent practicable.

When Green Development Practices are used in the public street right-of-way to manage stormwater, the street is referred to as a “Green Street”.

A. Definitions

1. Green Development Practices. Green Development Practices are defined as stormwater management techniques that utilize the processes of retention, infiltration, and evapotranspiration to treat runoff and reduce the volume of stormwater. Design standards and requirements for Green Development Practices are included in the City of Gresham’s Water Quality Manual.

2. On-Site Stormwater Management. On-site stormwater management is defined as the management of stormwater as close to the impervious source as possible. For public streets, on-site stormwater management is defined as management within the public right-of-way, also known as Green Streets.

3. Green Streets. Green Streets are streets that utilize Green Development Practices to manage stormwater. Standards for Green Street design can be found in the Public Works Standards.

B. Stormwater runoff from new or redevelopment shall be managed on-site with Green Development Practices and Green Streets to the maximum extent practicable. Green Development Practices shall be designed per the requirements set forth in the Gresham Water Quality Manual and Green Streets shall be designed per the Public Works Standards.

C. Submittal Requirements Prior to Tentative Land Division or Site Design Approval. Prior to tentative land division or site design approval, applicants for new or redevelopment must submit a stormwater management plan with the development permit application. The stormwater management plan, as required by the Gresham Water Quality Manual, shall provide details for developing in a manner consistent with this section. The stormwater management plan shall include the following:

1. The location and areas of all impervious surfaces within the future public right-of-way. Generalized assumptions for areas of impervious surfaces on future private property.

2. A table that lists the anticipated Green Development Practices for each lot within the development and overflow point. Overflow points shall either be specified as public storm pipe, weep hole to street gutter, private storm pipe, surface flow, or other.

City of Gresham Development Code (10/16)
[4.03]-9

3. All Green Street facilities shall comply with the sizing and design standards set forth in the Gresham Water Quality Manual and Public Works Standards.

4. Applicants seeking exemptions for on-site stormwater management requirements listed in this section must follow the procedures outlined in the Gresham Water Quality Manual.

D. Submittal Requirements Prior to Building Permit Approval. Prior to building permit approval, applicants for development on private property must meet Green Development Practice submittal requirements as specified in the Gresham Water Quality Manual, including the following items at a minimum:

1. The location of all Green Development Practices, shown on the permit drawings.

2. Typical cross-section for each Green Development Practice, shown on the permit drawings.

3. Piping used to direct stormwater runoff from impervious surfaces to Green Development Practices, shown on the plumbing permit drawings.

4. Form SIM facility sizing calculations from the Gresham Water Quality Manual.

5. Completed operations and maintenance agreement (Form O&M) from the Gresham Water Quality Manual. Form O&M must be recorded with the County prior to building permit approval.

E. Parking lot landscaping may be used as Green Development Practice for parking lots, if designed as provided by the Gresham Water Quality Manual.

1. Purpose: This section is enacted with the purpose of achieving multiple functions from parking lot landscaping by using it for on-site stormwater management.

2. Appropriate designs are contained in the Gresham Water Quality Manual.

3. Landscaping for stormwater management within parking lots will count towards total percentage of landscaping required on site.

F. After management in Green Development Practices, excess stormwater from private property must be discharged into an approved conveyance facility.

G. A grading or building permit may not be issued for a property unless a stormwater management plan has been approved that is consistent with this chapter.

H. Operations and maintenance requirements. The property owner, its successors or assigns, including any homeowner association, shall adequately maintain the on-site Green Development Practices according to the recorded operations and maintenance agreement.

I. Landscaping

1. This section is enacted with the goal of utilizing required landscaping for the purpose of protecting and enhancing water quality and aquatic habitat by providing for the infiltration, storage, and treatment of surface water runoff.

2. Landscaping for stormwater management will count towards total percentage of landscaping required on site.

3. Detailed landscaping requirements for Green Development Practices are included in the Gresham Water Quality Manual.

City of Gresham Development Code (10/16)
[4.03]-10

SECTION

4.0400

CORRIDOR DISTRICTS

[4.04]-1 City of Gresham Development Code (10/16)
General 4.0401 Purpose Corridor District Characteristics 4.0410 Rockwood Town Center (RTC) 4.0411 Station Centers (SC) 4.0412 Corridor Multi-Family (CMF) 4.0413 Corridor Mixed Use (CMU) 4.0414 Community Commercial (CC) 4.0415 Moderate Commercial (MC) Permitted Land Uses 4.0420 Permitted Land Uses Corridor District Standards 4.0430 Development Standards 4.0431 Lot Size and Dimensions 4.0432 Floor Area Ratio 4.0433 Setbacks 4.0434 Building Height 4.0435 Transit Design Criteria and Standards in Central Rockwood and Corridor Districts 4.0436 Commercial Uses 4.0437 Outdoor Commercial Uses 4.0439 Clear Vision Area Requirements 4.0440 Off-Street Parking for Single-Family Attached Dwellings in the Rockwood Town Center, Station Center, and Station Center (Ruby Junction Overlay) Districts 4.0441 Public Facilities and Supplementary Requirements 4.0442 Solar Energy Standards for Corridor Districts 4.0443 Wind Energy Standards for Corridor Districts 4.0444 Biomass Energy Standards for Corridor Districts 4.0445 Geothermal Energy Standards for Corridor Districts 4.0446 Micro-Hydro Energy Standards for Corridor Districts

General 4.0401 Purpose

This section of the Community Development Code implements the Central Rockwood Plan and creates districts for the city’s transit corridors. The Central Rockwood Plan originated in the Gresham 2020 Action Plan, which called for this area to accommodate intensive commercial, residential, and mixed-use development. Central Rockwood is envisioned as a Town Center, growing into a lively pedestrianoriented, transit-supportive district. Transit Corridors are made up of lands adjacent to streets with transit service, identified in Map 21, Volume IV – Transportation System Plan, of the Gresham Community Development Plan. The land use districts of both the Central Rockwood Plan and the transit corridors are designed to take advantage of the substantial public investments which have been made in transit service, and to create attractive places to live, work, shop, and recreate with less reliance on the automobile than might be found elsewhere in the community.

Corridor District Characteristics

4.0410 Rockwood Town Center (RTC)

This district encompasses the heart of Central Rockwood. It is centered on the triangle formed by E. Burnside, NE 181st Ave., and SE Stark St., but also takes in adjacent properties around the triangle. Primary uses permitted in RTC are retail commercial, services, office uses and housing. Mixed-use developments and various institutional uses (e.g. library, public meeting halls, government facilities) are also permitted. The scale and character of new development is intended to support and reinforce the image of a town center, with buildings of at least two stories, oriented to streets and pedestrians, and with parking lots behind or to the sides of buildings.

A portion of the Rockwood Town Center will be the focus of more concentrated high-density residential, office, commercial, service and institutional mixed-use development in a village type urban form. Within this area, proposals to develop attached dwellings that front on streets (multi-family and attached singlefamily dwellings) are required to have a mixed-use component along the street frontage. Mixed-use consists of commercial, office, or institutional uses or combinations thereof in combination with residential uses. This “Mixed-Use” Rockwood Town Center area consists of the “triangle” described above, and other properties which front on its abutting streets (see Appendix 9.000).

4.0411 Station Centers (SC)

This district takes in properties which are adjacent to, or within easy walking distance, of light rail stations at 162nd Avenue, 172nd Avenue, Ruby Junction (197th Ave.), and Gresham City Hall. The Station Centers district is intended to accommodate uses which are directly supportive of light rail transit. Development types permitted include retail and service businesses, offices, mixed-use projects, higher-density housing, and attached single family dwellings. Acknowledging the different character of existing land uses adjacent to the Ruby Jct. light rail station, an overlay designation here will also permit auto-dependent uses, and small-scale light industrial uses.

4.0412 Corridor Multi-Family (CMF)

This district designation is applied to properties along segments of Transit Streets. The CMF district primarily provides opportunities for moderate-density residential development, including attached

City of Gresham Development Code (10/16)
[4.04]-2

dwellings and attached single family dwellings. To help create a pleasant pedestrian environment, most new residential buildings will be oriented to public sidewalks, with parking lots behind or beside buildings. Standards will require that the scale of new housing diminish as buildings approach abutting single-family residential districts.

4.0413 Corridor Mixed Use (CMU)

This district designation is applied to certain clusters of properties along Transit Streets. In addition to moderate-density, multi-family residential uses, the CMU district permits small-scale commercial uses and mixed-use developments. Commercial businesses operating in this district will serve primarily the day-today needs of residents in nearby housing developments and neighborhoods. Design standards in Section 7.0600 for new construction and remodels which meet the thresholds described in Section 7.0003 will help to ensure that new buildings become attractive additions to existing and developing neighborhoods.

4.0414 Community Commercial (CC)

This district designation is applied to larger nodes of primarily commercial development clustered around the intersections of major and/or standard arterial streets. This district services the surrounding community with a larger trade area than the Moderate Commercial district but still has building size limitations for compatibility with the adjacent residential properties. The CC district will accommodate a wide range of community-scale commercial uses, including retail, services, and offices. This district also permits housing as a secondary use, with attached dwellings being developed in conjunction with commercial construction. New buildings will be pedestrian-oriented, with parking placed behind or beside buildings. Design Standards in Section 7.0600 for new construction and remodels which meet the thresholds described in Section 7.0003 will help to ensure that new buildings become attractive additions to existing and developing neighborhoods.

4.0415 Moderate Commercial (MC)

The MC district is applied to smaller nodes of commercial activity than the Community Commercial and is clustered around key intersections. This district is intended to function primarily as locally-oriented centers serving smaller trade areas than the Community Commercial district. Building size limitations ensure compatibility with the surrounding neighborhoods. Permitted development types include commercial retail, service, and office uses. This district also permits housing as a secondary use, with attached dwellings being developed in conjunction with commercial construction. Design Standards in Section 7.600 for new construction and remodels which meet the thresholds described in Section 7.0003 will ensure a strong pedestrian orientation for new development.

Permitted Uses

4.0420 Permitted Uses

Table 4.0420 lists those uses that are permitted in each Corridor Land Use District.

• P = Permitted use

• L = Use is permitted, but is limited in the extent to which it may be permitted

• NP = Use not permitted

• SUR = Use permitted subject to a Special Use Review

In addition to the permitted commercial land use types listed in Table 4.0420, the manager, under the Type II procedure, may permit other commercial uses which the manager finds to be supportive of, and

City of Gresham Development Code (10/16)
[4.04]-3

consistent with, the purposes of the Central Rockwood Plan (Appendix 39 of Volume 1) and Corridor Districts (Section 4.0400), and with applicable land use policies and implementation strategies of the Community Development Plan.

Table 4.0420: Permitted Uses in the Corridor Land Use Districts

City of Gresham Development Code (10/16)
[4.04]-4
USES RTC SC SC-RJ CMF CMU CC MC RESIDENTIAL1 Single-Family Detached Dwelling NP NP NP L2 NP NP NP Duplex NP P P P P NP NP Single-Family Attached Dwellings L3 P P P P NP NP Attached Dwellings on a Single Lot L3 L4 P P P L5, 6a L5, 7a Elderly Housing SUR3 SUR SUR SUR SUR SUR SUR Manufactured Dwelling Park NP NP NP NP NP NP NP Residential Facility P3 P P P P L5, 6a L5, 7a Residential Home NP NP NP L2 NP NP NP COMMERCIAL Auto-Dependent Use L8 NP P NP L9 L6a, 6b L7a, 7b Business and Retail Service and Trade P L10 P NP L9 L6a, 6b L7a, 7b Clinics P L10 P NP L9 L6a, 6b L7a, 7b Commercial Parking SUR SUR SUR SUR SUR SUR SUR Daycare Facilities P L10 SUR SUR P P P Live-Work P P P NP P P P Major Event Entertainment SUR SUR SUR NP SUR SUR SUR Mini-Storage Facilities NP NP NP NP NP NP NP Outdoor Commercial NP NP L11 NP L11 L6a, 6b L7a, 7b INDUSTRIAL Construction NP NP L12 NP NP NP NP Exclusive Heavy Industrial Uses NP NP NP NP NP NP NP Industrial Office NP NP NP NP NP NP NP Information Services NP NP NP NP NP NP NP Manufacturing NP NP NP NP NP NP NP Miscellaneous Industrial NP NP NP NP NP NP NP Trade Schools NP NP NP NP NP NP NP Transportation/Distribution NP NP NP NP NP NP NP Warehousing/Storage NP NP NP NP NP NP NP Waste Management NP NP NP NP L/SUR13 L/SUR 13 L/SUR 13 Wholesale Trade NP NP NP NP NP NP NP INSTITUTIONAL USES Civic Use SUR SUR SUR SUR SUR SUR SUR

Table 4.0420 Notes

1 Temporary health hardship dwellings may be permitted with a pre-existing single-family detached dwelling home.

2 Permitted only along the NE Glisan and NE 162nd Avenue corridors. Detached dwellings in the CMF district shall conform with development standards of Table 4.0130 for the TLDR district.

3 Within the area identified on the Appendix 9.000 map (Rockwood Town Center Mixed Use Area), all buildings on Stark shall have non-residential uses at the ground floor frontages with primary entries on Stark. In a mixed use building, residential uses are allowed above and behind the non-residential uses on Stark.

Ground floor residential uses on Burnside within the area identified on the Appendix 9.000 map (Rockwood Town Center Mixed Used Area) shall have individual entries oriented to Burnside and located above grade a minimum of 4 feet and a maximum of 9 feet. Windows into living areas for ground floor residential uses shall be sited for privacy. Except for Section 7.0210(A)(4) and (5), Transit and Pedestrian Design Criteria and Standards of Section 7.0210 shall apply to all residential development with frontage on Burnside within the RTC district. All other applicable design and development criteria in this code shall apply.

4 New Attached Dwellings on a Single Lot shall be developed as a mixed use project when the subject parcel fronts East Burnside and is within 500 feet of the center lines of the intersections of East Burnside and 162nd, 172nd or 197th Avenues. A development proposal may be exempted from this standard upon an affirmative finding that the street frontage has insufficient dimensions, such as in the case of flag lots or irregular shaped parcels, whereby it is physically impracticable to develop commercial or institutional uses. Housing developed for persons with special needs is exempted from the mixed use requirement. This is housing for persons with “special needs” consistent with the definition of the most recent “Consolidated Action Plan” as approved by the US. Department of Housing and Urban Development.

[4.04]-5 City of Gresham Development Code (10/16) USES RTC SC SC-RJ CMF CMU CC MC Community Services SUR SUR SUR SUR SUR SUR SUR Medical SUR SUR SUR SUR SUR SUR SUR Parks, Open Spaces and Trails L/SUR14 L/SUR14 SUR SUR SUR SUR SUR Religious Institutions P P P SUR P L6a, 6b L7a, 7b Schools P/SUR18 P/SUR15, 18 P/SUR18 SUR18 P/SUR18 P/SUR18 P/SUR18 RENEWABLE ENERGY19 Solar Energy Systems L/SUR20 L/SUR20 L/SUR20 L/SUR20 L/SUR20 L/SUR20 L/SUR20 Wind Energy Systems L/SUR21 L/SUR21 L/SUR21 L/SUR21 L/SUR21 L/SUR21 L/SUR21 Biomass Energy Systems L22 L22 L22 L22 L22 L22 L22 Geothermal Energy Systems L/SUR23 L/SUR23 L/SUR23 L/SUR23 L/SUR23 L/SUR23 L/SUR23 Micro-Hydro Energy Systems L24 L24 L24 L24 L24 L24 L24 OTHER Basic Utilities Minor basic utilities Major basic utilities P SUR P SUR P SUR P L/SUR16 P SUR P SUR P SUR Heliports17 SUR NP NP NP NP SUR NP Wireless Communication Facilities SUR SUR SUR SUR SUR SUR SUR Temporary, Intermittent & Interim Uses P P P P P P P Marijuana Businesses NP NP NP NP NP L25 L25

5 May be permitted in conjunction with mixed use developments. Such developments are permitted provided they remain primarily non-residential. This is achieved by having: 1) at least 51% of the site’s ground floor uses be commercial or institutional uses; and 2) at least 75% of the linear street footage be fronted by a ground floor commercial or institutional use. The street frontage requirement only applies to a street classified as principal arterial, major arterial, standard arterial or boulevard. The 75% standard does not apply to those parts of street not fronted by a building due to a driveway or other site element required by the Development Code, such as a required buffer or height transition area.

6 Community Commercial. a) The maximum building footprint size permitted for any building, regardless of the type of uses within it, shall be 100,000 square feet; and b) The maximum total building size (floor area) for commercial uses shall be 100,000 sq. ft.

7 Moderate Commercial. a) The maximum building footprint size permitted for any building, regardless of the type of uses within it, shall be 40,000 square feet with an exception for a maximum building footprint size of 60,000 square feet for a grocery store use; b) The maximum total building size (floor area) for commercial uses shall be 80,000 sq. ft.

8 In the Town Center district, Auto-Dependent Uses are limited to sites fronting on standard, major or principal arterial streets.

9 The maximum building footprint size permitted for any building occupied entirely by a commercial use or uses shall be 20,000 square feet. For mixed use buildings, the residential and commercial components shall comply with the standards of Section 7.0103(B)(1)(d)(2).

10 A commercial use permitted in the Station Center district (except for the Ruby Junction Overlay) must be located on a parcel of which some portion is within 500 feet of the intersection of the centerlines of East Burnside / 162nd, or East Burnside / 172nd, or East Burnside / 197th Ave, or East Burnside / 181st, or within ¼ mile of the intersection of the centerlines of Division Street / Eastman Parkway or Division Street / Kelly Avenue.

11 The maximum site size for a new Outdoor Commercial use is 2 acres. Certain types of Outdoor Commercial Uses may be prohibited. See Section 4.0437

12 Any industrial use shall be limited to a maximum of 45,000 square feet of gross floor area. In addition, any new industrial use shall employ at least one person per 500 square feet of gross floor area. An applicant for design review for a new industrial use shall submit documentation as part of the application demonstrating conformance with this employee density requirement. Industrial developments are subject to standards pertaining to GI in Sections 4.0330 and 4.0331.

13 Solid waste transfer stations, composting facilities, and landfills may pursue approval through the Special Use Review process. When located in the Corridor Districts, waste management uses adjacent to residentially designated land shall be located at least 100 feet from the residential property.

14 Golf courses are not permitted through a Special Use Review.

15 Schools are permitted in the SC district if they are located on a parcel of which some portion is within 500 feet of the intersection of the centerlines of East Burnside / 162nd, or East Burnside / 172nd, or East Burnside / 197th Ave, or East Burnside / 181st, or within ¼ mile of the intersection of the centerlines of Division Street / Eastman Parkway or Division Street / Kelly Avenue. If they are not within this area, they are subject to a Special Use Review.

16 Electrical generating facilities are not permitted through the Special Use Review process.

17 Permitted as an accessory use to Medical and Civic Uses through the Special Use Review process.

18 Schools are permitted without a Special Use Review if they are occupying an existing commercial space. Schools must pursue a Special Use Review if they are proposing new construction.

19 See Section 10.0900 for additional standards that apply

20 For limitations, see Section 4.0442 Solar Energy Standards for Corridor Districts.

21 For limitations, see Section 4.0443 Wind Energy Standards for Corridor Districts.

22 For limitations, see Section 4.0444 Biomass Energy Standards for Corridor Districts.

23 For limitations, see Section 4.0445 Geothermal Energy Standards for Corridor Districts.

24 For limitations, see Section 4.0446 Micro-Hydro Energy Standards for Corridor Districts.

25 For limitations, see GRC 9.63.090

City of Gresham Development Code (10/16)
[4.04]-6

Corridor District Standards

4.0430 Development Standards

Table 4.0430, below, summarizes development standards which apply in the Corridors Districts. The standards contained in this table are supplemented by referenced subsections which provide additional clarification or guidance. Furthermore, the regulations of Section 7.0600 Corridor Design District Commercial Design Guidelines and Standards and Section 7.0500 Rockwood Design District Design Guidelines and Standards shall also apply.

4.0430 Development Requirements For Corridor Districts Corridor Mixed-Use Community Commercial Moderate Commercial

Rockwood Town Center

square feet for residential; none for commercial, institutional, mixed-use, & industrial8, 10

Multi-

sq. ft.8, 10

10,000

square feet for residential; none

B. Minimum Street Frontage (Section 4.0431) 100

for residential; 11, 14

100 feet for residential; none for commercial, institutional and mixed use11, 14

C. Minimum Lot Width/ Depth Ratio (Section 4.0431)

.5 : 1 for residential; none for commercial, institutional and mixed use8

.5 : 1 for residential; 8 .5 : 1 for residential; none for commercial, institutional and mixed use8

.5 : 1 .6 : 1 .6 : 1 for commercial, institutional and mixed-uses; none for industrial

None None,

except .4 : 1 in Central Rockwood Plan

Area13

.4 : 1 in Central Rockwood Plan

D. Minimum Floor Area Ratio (FAR) (Section 4.0432) None,

City of Gresham Development Code (10/16)
[4.04]-7
Corridor
Table Family
Station Centers Station Center (Ruby Jct. Overlay)
10,000
A. Minimum Lot Size (Section 4.0431) for
10,000 square feet for residential; none for commercial, institutional and mixed-use8 None None
10,000 square feet for residential; none for commercial, institutional and mixed-use8, 10
10,000
commercial, institutional and mixeduse8, 10
100 feet for residential; none for commercial, institutional and mixed use14
100 feet for residential; none for commercial, institutional and mixed use11, 14 None None
100
feet for residential; none for commercial, institutional, mixed use, & industrial11, 14
feet
.5 : 1 for residential; none for commercial, institutional and mixed use8
.5 : 1 for residential; none for commercial, institutional, mixed use, & industrial8 None None
None, except
Area13
except .4 : 1 in Central Rockwood Plan Area13

Table 4.0430 Development Requirements For Corridor Districts

Station Centers Station Center (Ruby Jct. Overlay)

Family

G. Minimum Building Setbacks

0 feet front, side and rear for commercial, mixed-use, and institutional uses;

5 feet front and street-side, 0 feet interior side, 15 feet rear for residential1, 16

units per acre for attached single-family dwellings;

24 units per acre for attached dwellings 18

18

units

for attached single-family dwellings;

0 feet front, side and rear for commercial, mixed-use, and institutional uses;

5 feet front and street-side, 0 feet interior side, 15 feet rear for residential1, 16

0 feet front, side and rear for commercial, mixed-use, and Institutional uses;

5 feet front and street-side, 0 feet interior side, 15 feet rear for residential1, 16 For industrial uses, see Table 4.0330 1

5 feet front; 15 feet rear;

0 feet interior side;

5 feet streetside1

5 feet front; 15 feet rear; 0 feet interior side; 5 feet streetside1

0 feet front, side and rear, including streetside

0 feet front, side and rear, including streetside

City of Gresham Development Code (10/16)
[4.04]-8
Corridor Multi-
Rockwood Town Center Corridor Mixed-Use Community Commercial
Moderate Commercial
E. Minimum Residential Net Density
acre
24 units
acre
(See definition of Net Density in Article 3) dwellings
18 units per acre for attached single-family dwellings; 20 units per acre for attached dwellings 12 units per acre 12 units per acre 12 units per acre 12 units per acre
per
per
for attached
F. Maximum Residential Net Density
(See definition of Net Density in Article 3) 60 units per acre 60 units per acre 24 units per acre 24 units per acre 40 units per acre 40 units per acre
Unlimited inside Stark/ Burnside/ 181st Avenue Triangle; 40 units per net acre elsewhere
(Section 4.0433 and Section 7.0500)

Table 4.0430 Development Requirements For Corridor Districts

H. Maximum Building Setbacks (Section 4.0433)

Residential: 20 feet front; None for interior side and rear; 20 feet streetside3a

J. Transit Design Criteria and Standards Apply (Section 4.0435)

Station Centers Station Center (Ruby Jct. Overlay) Corridor Mixed-Use Community Commercial Moderate

20 feet front; None for rear and interior side; 20 feet for street-side3a

For residential, commercial, institutional and mixed-use: 20 feet front; none for rear and interior side; 20 feet for streetside.3a

No maximum for industrial uses.

20 feet front; None for rear and interior side; 20 feet for street-side3a

20 feet front; None for rear and interior side; 20 feet for streetside3a

10 feet front; None for rear and interior side; 10 feet for street-side3b, 3c

Commercial

10 feet front; None for rear and interior side; 10 feet for streetside3b, 3c

10 stories in Outside Triangle

and

80 feet elsewhere15

Yes7 Yes7 Yes7 Yes7 Yes7 Yes Yes

City of Gresham Development Code (10/16)
[4.04]-9
Rockwood Town Center Corridor MultiFamily
Commercial, Institutional & Mixed-Use: 10 feet front and streetside2 None for interior side and rear.
I. Maximum Building Height (Section 4.0434) 10 stories in Outside Triangle Area and 80 feet elsewhere15
Inside the Triangle Area: commercial and institutional: 6 stories; Buildings that include other uses: 4 stories; Outside the Triangle Area: 10 stories for all uses.15 45 feet 45 feet 45 feet 45 feet
Area

Table 4.0430 Development Requirements For Corridor Districts

[4.04]-10 City of Gresham Development Code (10/16)
Rockwood Town Center Station Centers Station Center (Ruby Jct. Overlay) Corridor MultiFamily Corridor Mixed-Use Community Commercial Moderate Commercial K. Minimum Off-Street Parking Required None required for commercial uses; 1 space/ unit for residential;9 1 space per 1,000 square feet of building floor area or the minimum in Table 9.0851, whichever is less, for Institutional; 17 All other uses see Section 9.0851. None required for commercial; 1 space/ unit for residential9 All other uses see Section 9.0851. None required for commercial; 1 space/ unit for residential9; all other uses as provided in Section 9.0851. As provided in Section 9.0851 As provided in Section 9.0851 As provided in Section 9.0851 As provided in Section 9.0851 L. Maximum Off-Street Parking Permitted 2 spaces/ unit for residential4, 5; all other uses see Section 9.0851 1.5 spaces/ unit for residential4, 5; all other uses see Section 9.0851 1.5 spaces/ unit for residential4, 5; all other uses see Section 9.0851 As provided in Section 9.08514 As provided in Section 9.08514,5 As provided in Section 9.08515 As provided in Section 9.08515 M. Screening and Buffering Required No, except where abutting LDR-5, LDR-7, TR, TLDR, CMF, or CMU12 No, except where abutting LDR-5, LDR-7, TR, TLDR, CMF, or CMU12 No, except where abutting CMF, and for auto-dependent commercial, outdoor commercial and industrial uses12 Yes12 Yes12 Yes Yes N. Clear Vision Area Required (Section 4.0439) Yes 6 Yes 6 Yes 6 Yes Yes Yes Yes Table 4.0430 Notes: 1 Minimum setbacks for single-family attached dwellings are: (a) Front Yard: (i) Front façade = 5 feet (ii) Front Porch = 3 feet (iii) Garage = 20 feet

(b) Side Yard:

(i) Interior = 5 feet for any side of a dwelling structure that is not a common wall with another dwelling structure;

(ii) Street side (corner lot): Façade = 5 feet; Porch = 5 feet; Garage with access from street side = 20 feet.

(c) Rear Yard = 10 feet if there is no alley; 5 feet if there is an alley.

(d) Additional setbacks = see Table 7.0201(M)(3)(a).

2 A maximum front or streetside setback of up to twenty (20) feet may be permitted when enhanced pedestrian spaces and amenities are provided that comply with Section 7.0603(A)(5)(D)

3 The following setback standards apply:

a. When abutting a Principal Arterial, a Major Arterial, a Minor Arterial or Boulevard street, the maximum front or streetside setback for a building containing dwelling units is thirty (30) feet. The maximum front or streetside setback may be exceeded when enhanced pedestrian spaces and amenities are provided that comply with Section 7.0603(A)(5)(D)

b. When abutting a Principal Arterial, a Major Arterial, a Minor Arterial or Boulevard street, the maximum front or streetside setback for a building containing commercial uses is ten (10) feet. The maximum front or streetside setback may be exceeded when enhanced pedestrian spaces and amenities are provided per Section 7.0603(A)(5)(D)

c. When abutting a Collector, Community or Local streets, the maximum front or streetside setback is five (5) feet. The maximum front or streetside setback may be exceeded when enhanced pedestrian spaces and amenities are provided that comply with Section 7.0603(A)(5)(D)

4 There is no maximum parking limitation for single-family attached dwelling units.

5 For commercial uses, when included in a mixed-use development, the maximum amount of off-street parking shall be as provided in Section 9.0850 for each commercial use.

6 Conformance with clear vision standards of Section 9.0200 shall be required only for developments with direct access to an arterial street.

7 Ground floor window standards for commercial buildings on Design Streets (Section 7.0210) do not apply to residential developments.

8 Minimum lot size and lot width/depth ratio standards do not apply to lots or parcels created for single-family attached dwellings. Minimum lot dimensions for single-family attached dwelling lots are as follows:

Width at building line

Interior Lot 16 feet (lots of less than 22 feet in width shall take access from an alley or from a shared access)

Corner Lot 16 feet where it abuts an alley 25 feet where there is no alley or shared access

Depth 0 feet - all developments that include single family attached dwellings shall receive both land division approval to create lots for the single family attached dwellings as required in Section 6.0001, and design review approval as required in Section 7.0001

9 The standards of Section 4.0440 shall apply for single-family attached dwellings.

10 There is no minimum lot size requirement for duplexes in the SC, CMF and CMU districts.

11 Minimum street frontage for duplex in the SC, CMF and CMU districts is 35 feet, except corner lots shall be 40 feet as measured from the corner radius end point to the property corner.

12 Screening and buffering are not required for attached single-family dwellings abutting the LDR-5, LDR-7, TLDR, or TR District

13 The Central Rockwood Plan Area is the area shown as Central Rockwood Plan Land Use Districts on Figure 1 of Appendix 39, Volume 1 of the Gresham Community Development Plan.

14 Minimum street frontage for single family attached dwellings shall be 16 feet, except corner lots shall be 25 feet as measured from the corner radius end point to the property corner if there is an alley or shared access, and 32 feet from the corner radius end point to the property corner if there is no alley or shared access. A reduction in the minimum street frontage may be approved when the applicant can document compliance with Section 10.1520 of the Community Development Code.

City of Gresham Development Code (10/16)
[4.04]-11

15 Within the Rockwood Design District:

a. Triangle Area. For lands in the Triangle Area as described in Section 7.0501 buildings shall not exceed six stories for buildings with exclusively commercial and/or institutional uses and four stories in height for buildings that include other uses.

b. Outside Triangle Area. For lands in the Outside Triangle Area as described in Section 7.0501 buildings shall not exceed ten (10) stories in height.

See Section 7.0503(B)(6) Gateways and Prominent Façade Sections for additional building height requirements for properties at the three gateway street intersections of:

a. 181st and Burnside

b. 181st and Stark

c. Burnside and Stark

16 Within the Rockwood Design District:

a. Triangle Area. See Section 7.0503(A)(3)(C) and Section 7.0503(A)(3)(D) Building Placement and Frontage for minimum and maximum front building setbacks.

b. Outside Triangle Area. See Section 7.0503(A)(3)(C) and Section 7.0503(A)(3)(D) Building Placement and Frontage for minimum and maximum front building setbacks

17 Minimum parking standard only applies within 1,000 feet of a MAX station. The only exceptions allowed to this minimum are Sections 9.0853(C) and (E) and Sections 10.1510 and 10.1530 Institutional uses more than 1,000 feet from a MAX station, see Section 9.0851.

4.0431 Lot Size and Dimensions

A. Minimum lot size, minimum street frontage, and minimum lot width/depth ratio shall be as specified in Table 4.0430 for new development. The lot width/depth ratio shall be determined by dividing the lot width dimension by the lot depth dimension.

B. Minimum lot size, street frontage, and lot width/depth ratio standards of Table 4.0430 shall be satisfied prior to issuance of a development permit for attached dwellings.

C. Existing lots of record which do not meet the minimum lot size or street frontage standard, or the minimum lot width/depth ratio standard, may be developed with a duplex or two single-family attached dwellings, consistent with permitted uses as listed in Table 4.0420. Development permitted under this subsection is exempt from the minimum residential density standard of Table 4.0430

4.0432 Floor Area Ratio

A. The minimum floor area ratios contained in Table 4.0430 apply to non-residential and mixed-use development. Alterations to existing development are exempt from the minimum FAR standard. For mixed-use developments in areas with a minimum commercial FAR and a minimum residential density requirement, minimum FAR and residential density requirements are satisfied when consistent with the following formula:

Number Of Proposed Dwelling Units + Proposed Commercial Floor Area ≥ 1

Minimum Number Of Units Required Minimum Required Commercial Floor Area)

[4.04]-12

City of Gresham Development Code (10/16)

B. Sites that have all the following characteristics shall calculate their minimum required floor area using a site area equal to 100 feet times the site width:

1. The site width is less than 150 feet; and

2. The site depth is more than three times the site width; and

3. The site has street frontage on only one street, and that street is on the site’s shorter dimension, which is its width.

4.0433 Setbacks

Required minimum and maximum setback standards are specified in Table 4.0430 and Section 7.0500

A. Minimum setback distances shall be determined in conformance with the definition for "Setback" as specified in Section 3.0103.

B. 1. For Rockwood Town Center (RTC), Station Centers (SC) and Station Center-Ruby Junction (SC-RJ) within the Rockwood Design District see Section 7.0500. For Station Center elsewhere in the city, the following shall apply: Conformance with maximum setback distance is achieved for a commercial or mixed-use building when at least one (1) primary entrance located on the façade facing the street is placed no farther from the property line than the distance specified for Maximum Building Setback in Table 4.0430. Maximum building setbacks may be exceeded when a development incorporates enhanced pedestrian spaces and amenities in the setback area. Enhanced pedestrian spaces and amenities consist of features such as plazas, arcades, courtyards, outdoor cafes, widened sidewalks, benches, shelters, street furniture, public art, or kiosks. In addition, on sites with more than one building, the maximum setback may be exceeded for commercial, mixed-use, and residential buildings containing three (3) or more dwelling units, provided conformance is achieved with the maximum setback distance for at least one (1) building. For single-family attached residential buildings, conformance also must be achieved with building orientation standards of Section 7.0201(E)

2. For commercial developments in Corridor Mixed-Use (CMU), Community Commercial (CC), and Moderate Commercial (MC), see Section 7.0600.

3. For mixed-use developments and attached residential dwellings on a single lot in all districts, see Section 7.0100.

C. Setback standards for single family attached dwellings are in Table 7.0201(L)(3)(a).

4.0434 Building Height

Maximum building heights are specified in Table 4.0430. Any required building story must contain a habitable floor.

A. In addition to conforming with the Ground Floor Windows requirement of Section 7.0210, for any new commercial or mixed-use building of more than one story, at least twenty percent of the upper facade area shall be made up of display areas or windows for all facades facing a street, except those developments subject to the Corridor Commercial Design Standards of Section 7.0600 and those subject to the Rockwood Design Standards of Section 7.0500, and those subject to Plan District requirements such as the Downtown Plan District

B. The maximum building height for any building containing dwelling units shall be reduced when located adjacent to an LDR-5, LDR-7, TLDR, or TR District, as provided in Section 7.0201(J)

C. Heights of single-family attached dwelling buildings are identified in Table 7.0201(L)(3)(g).

City of Gresham Development Code (10/16)
[4.04]-13

4.0435 Transit Design Criteria and Standards in Central Rockwood and Corridor Districts

The Central Rockwood Plan and Corridor districts are pedestrian districts. As such, new development must have a strong orientation to the pedestrian and be transit-supportive, as well as enhance the appearance and functioning of these districts. In order to achieve these purposes, the provisions of Section 7.0500 apply to development within the Rockwood Design District. Additionally, the provisions of Section 7.0210(B)(8) and 7.0210(B)(10)(b) apply to new development requiring design review approval in the Rockwood Design District. Section 7.0103 and 7.0201 apply to new residential and mixed-use (residential) development. Section 7.0202 applies to new commercial and mixed-use (commercial) development requiring design review approval that is not in the Corridor Design District. Section 7.0203 applies to new industrial development requiring design review approval. Section 7.0600 Corridor District Commercial Design Guidelines and Standards applies to all commercial development in the Corridor Design District. Section 7.0210(A) applies in addition to other applicable standards and criteria to all developments except to those commercial developments in the Corridor Design District. Additionally, the provisions of Section 7.0210(B) apply to new development requiring design review approval in the Station Center outside the Rockwood Design District.

4.0436 Commercial Uses

A. At least 85% of business activities in connection with commercial uses permitted in Table 4.0420 shall be conducted within a completely enclosed structure, except for outdoor commercial uses. No more than 15% of the area devoted to buildings may be used for outdoor business activities, product display, or storage. However, in the Rockwood Town Center, the Station Center district, and the Corridor Mixed-Use district, the amount of site area used for outdoor business activities, product display, or storage may be up to 50% of the amount of floor area on the site.

B. No outdoor business activities, product display or storage shall be located within yard setback or buffering and screening areas. Areas devoted to on-site outdoor business activities, product display or storage shall be located so that they do not interfere with pedestrian circulation.

4.0437 Outdoor Commercial Uses

A. Outdoor commercial uses may be permitted in the Station Center (Ruby Junction Overlay) District or the Corridor Mixed-Use District as indicated in Table 4.0420, subject to the following limitations:

1. Total site size for any new outdoor commercial use shall not exceed two acres.

2. The amount of total site area covered by buildings shall amount to no less than 25% of the amount of site area used for outdoor storage or display.

3. Except for buildings used entirely for storage associated with the business, the maximum front or streetside setback for any building shall be 20 feet.

4. Screening shall be provided along any portion of the site’s street frontage which is not occupied by a building, in a manner which satisfies provisions of Section 9.0823(C)(3)

B. The following types of outdoor commercial uses shall be prohibited within the Station Center (Ruby Junction Overlay) District and the Corridor Mixed-Use District:

1. Vehicle sales lots;

City of Gresham Development Code (10/16)
[4.04]-14

2. Mobile home or manufactured home sales, service, or storage;

3. Recreational vehicles sales service, or storage.

4.0439 Clear Vision Area Requirements

New development in the Town Center District, in the Station Centers District, and in the Ruby Junction Overlay is exempt from the provisions of Section 9.0200 - Clear Vision Area, except where the development has direct access to a major arterial or standard arterial street.

4.0440 Off-street Parking for Single-Family Attached Dwellings in the Rockwood Town Center, Station Center, and Station Center (Ruby Junction Overlay) Districts

A. One space per dwelling unit. Each parking space shall be at least 8.5 feet wide by 18 feet deep.

B. Tandem (end-to-end) parking is allowed.

C. A maximum of one required parking space per unit may be located in a driveway in the front or street side yard setback or in the rear yard setback when there is an alley.

D. Driveways shall have minimum width of 10 feet.

E. Curb cuts shall meet all of the requirements contained in Section A5.400.

4.0441 Public Facilities and Supplementary Requirements

All developments shall also be subject to the applicable requirements of Section 4.0430 - Site Development Standards; Article 9 - Common Requirements; and Appendix 5.000 - Public Facilities Standards.

4.0442 Solar Energy Standards for Corridor Districts

Solar energy systems are limited in all Corridor districts as follows:

A. Scale. Small and medium scale solar energy systems are permitted in these districts. Large scale systems are permitted with a Special Use Review.

B. Type. Roof-top, flat-roof, integrated and ground-mounted solar energy systems are permitted.

C. Height. The following limitations on maximum height apply to all solar energy systems:

1. Roof-top, Flat-roof and Integrated.

a. For roofs that are flat or the horizontal portion of mansard roofs, the solar energy systems on frames shall not exceed 10 feet above the roof height on which the system is installed.

b. For pitched, hipped or gambrel roofs, the solar energy system panels shall not exceed 18 inches in height from the surface of the roof on which the system is installed.

2. Ground-mounted. Ground-mounted solar energy systems shall not exceed 20 feet in height.

D. Setbacks and Yards. Solar energy systems are not allowed in the required front or street-side setbacks.

City of Gresham Development Code (10/16)
[4.04]-15

4.0443 Wind Energy Standards for Corridor Districts

Wind energy systems are limited in all Corridor districts as follows:

A. Scale. Small and medium scale wind energy systems are permitted in these districts. Large scale systems are permitted with a Special Use Review.

B. Type. Roof-top and ground-mounted wind energy systems are permitted.

C. Height. The following limitations on maximum height apply to all wind energy systems:

1. Roof-top. Wind energy system height shall not exceed a value equal to the building height when the building height is 45 feet or less. For example, a 20 foot tall building could have a 20 foot tall wind energy system installed on its roof for a total height of 40 feet from the ground to top of the wind energy system. For buildings which exceed 45 feet in height, the wind energy system shall not exceed 45 feet maximum. For example, a 60-foot tall building could have a 45-foot tall wind energy system installed on its roof for a total height of 105 feet from the ground to the top of the wind energy system.

2. Ground-mounted. Ground-mounted wind energy systems shall not exceed 45 feet in height. The height limit of 45 feet can be exceeded up to 110 feet with a Special Use Review.

D. Setbacks and Yards. Wind energy systems are not allowed in required front, street-side, side or rear setbacks, and are not allowed in the front or street-side yards between the building and the street.

4.0444 Biomass Energy Standards for Corridor Districts

Biomass energy systems are limited in all Corridor districts as follows:

A. Scale. Small scale biomass energy systems are permitted.

B. Type. Non-hazardous biomass systems are permitted.

C. Height. Biomass energy systems shall not exceed the maximum district height limits.

D. Setbacks and Yards. Biomass energy systems are not allowed in the required front, street-side, side or rear setbacks, and are not allowed in the front or street-side yards between the building and the street.

4.0445 Geothermal Energy Standards for Corridor Districts

Geothermal energy systems are limited in all Corridor districts as follows:

A. Scale. Small scale geothermal energy systems are permitted. Large scale systems are permitted with a Special Use Review.

B. Type. Closed-loop geothermal energy systems that are not in any well field protection areas are permitted.

C. Height. Geothermal energy systems shall not exceed the maximum district height limits.

D. Setbacks and Yards. Geothermal energy systems are not allowed in the required front, street-side, side or rear setbacks, except that small geothermal heating and cooling units like heat pumps can project into the setbacks per Section 9.0900 Projections.

[4.04]-16

City of Gresham Development Code (10/16)

4.0446 Micro-Hydro Energy Standards for Corridor Districts

Micro-hydro energy systems are limited in all Corridor districts as follows:

A. Scale. Small scale micro-hydro energy systems are permitted.

B. Type. In-pipe micro-hydro energy systems such as systems within water, stormwater or wastewater pipe are permitted.

C. Height. Generally the district height limits apply. However, in-pipe systems may exceed the district height limit as allowed for mechanical equipment. If supplemental equipment structures accompany the in-pipe systems, then the district height limit would apply.

D. Setbacks and Yards. Micro-hydro energy systems contained within piping are allowed and pipe can run within the required setbacks. However, if supplemental equipment structures accompany the in-pipe systems, then the district setback limits apply

[4.04]-17 City of Gresham Development Code (10/16)
[4.04]-18 City of Gresham Development Code (10/16)

SECTION 4.1000 PLAN DISTRICTS

General

4.1000 Enabling Legislation

General

4.1000 Enabling Legislation

A. A Plan District may be designated when the city finds that conditions within a specific area are such that unique planning and regulatory tools are required to achieve desired results. A Plan District designation may be warranted based on specific land use, economic, transportation, public facilities, historic, or natural conditions found to exist in the area. Plan District designation provides a means to create or modify development districts and standards in ways which address specific opportunities and problems within the plan area. These new or modified development districts and standards are not transferable to properties outside the boundaries of the established Plan District. The Plan District designation is generally not intended to be applied to small areas or to small individual properties.

B. Except as provided in Section 4.1000(E), a Plan District shall be established, amended, or removed at the initiative of the Planning Commission or the City Council through the Type IV legislative procedure. In establishing a Plan District, findings satisfying all of the following criteria must be made:

1. The area proposed for the Plan District designation is generally affected by special characteristics or problems of a land use, economic, transportation, public facilities, historic, natural, or transitional use or development nature which are not common to other areas of the city.

2. Existing development districts and standards applying in the area are inadequate to achieve goals and implementation strategies of the Community Development Code, or to address an identified problem in the area.

3. The proposed Plan District designation is the result of a study or plan which documents the special characteristics of the study area and includes measures to address the relevant issues.

4. Any proposed policies, procedures, development standards, or other measures to be implemented are in conformance with the purposes, findings and recommendations of the study or plan which serves as the basis for the Plan District.

5. The Plan District designation, and related policies, procedures, standards, and other measures are consistent with applicable policies and implementation strategies of the Community Development Code, and with any applicable locational criteria identified in the Community Development Code.

[4.10]-1 City of Gresham Development Code (5/09)

C. Provisions of the Plan District may modify existing standards and procedures of the Community Development Code. The Plan District provisions may also apply additional requirements or allow exceptions to general regulations. Where there is a conflict between the provisions of the Plan District and those of other portions of the Community Development Code, the Plan District provisions control.

D. The location and boundaries of each Plan District shall be shown on the Community Development Plan Map.

E. Within the boundaries of a Plan District, the sub-district designation of any site or small group of sites may be changed to that of a different sub-district already existing within that Plan District. Any such proposal shall be processed under the Type III procedure for Community Development Plan Map Amendments, as provided in Section 12.0001. In seeking such an amendment, an applicant shall demonstrate that the proposed change is consistent with the purposes, findings, and recommendations of the study or plan which serves as the basis for the Plan District, and that the proposed change will not have a negative impact on existing or planned public facilities and services.

F. Plan District designation may be removed from all or a portion of a Plan District through the Type IV legislative procedure. Any such action shall be initiated by the Planning Commission or the City Council, and shall be based on a new study or plan containing findings which satisfy all of the criteria of Section 4.1000(B). The new study or plan shall also provide for new land use district designations and development regulations for the affected area in the form of a new Plan District designation or through the application of conventional land use district designations.

G. Policies, procedures, standards, and other measures applying within a Plan District may be amended through the Type IV legislative procedure. Any such amendment intended to apply exclusively within a Plan District shall be initiated by the Planning Commission or the City Council, and shall be based on findings demonstrating that it is consistent with the purposes, findings, and recommendations of the plan or study which serves as the basis for that Plan District. This subsection does not apply to general legislative amendments that will be applied broadly to areas of the city at large, both within and outside of a Plan District.

[4.10]-2 City of Gresham Development Code (5/09)

SECTION 4.1100

DOWNTOWN PLAN DISTRICT DESIGN MANUAL

Section 4.1100 Downtown Plan District Design Manual is contained in a separate document entitled Section 4.1100

[4.11]-1 City of Gresham Development Code (7/09)
[4.11]-2 City of Gresham Development Code (7/09)

SECTION 4.1200

CIVIC NEIGHBORHOOD PLAN DISTRICT

[4.12]-1 City of Gresham Development Code (10/16)
General 4.1201 Purpose Civic Neighborhood Sub-Districts Characteristics 4.1210 Transit Development District - Medium Density - Civic (TDM-C) 4.1211 Transit Development District - High Density - Civic (TDH-C) 4.1212 High-Density Residential - Civic (HDR-C) 4.1213 Moderate-Density Residential - Civic (MDR-C) Permitted Uses 4.1220 Permitted Land Uses Civic Neighborhood Sub-District Standards 4.1230 Civic Neighborhood Sub-District Development Standards 4.1231 Lot Size 4.1232 Minimum Densities 4.1233 Building Height 4.1234 Setbacks 4.1235 Ground Floor Windows, Window Walls, Blank Walls, and Design 4.1236 Building Lines, Orientation and Primary Entrance 4.1237 Off-Street Parking 4.1238 Auto Dependent Uses 4.1239 Drive-Through Uses 4.1240 Site Landscaping 4.1241 Residential Open Space and Design 4.1242 Architectural Design Review Guidelines 4.1243 View Protection 4.1244 Street Requirements 4.1245 Clear Vision Area Requirements 4.1246 Signage 4.1247 Street Design Requirements 4.1248 Mixed Use Requirements Adjacent to Civic Neighborhood LRT Station and Plaza 4.1249 Adjustments to Certain Development Standards on Primary Pedestrian Streets 4.1250 Solar Energy Standards for Civic Neighborhood Districts 4.1251 Wind Energy Standards for Civic Neighborhood Districts 4.1252 Biomass Energy Standards for Civic Neighborhood Districts 4.1253 Geothermal Energy Standards for Civic Neighborhood Districts 4.1254 Micro-Hydro Energy Standards for Civic Neighborhood Districts

General 4.1201 Purpose

This section of the Community Development Code implements the Gresham Civic Neighborhood Plan District. The Gresham Civic Neighborhood Plan District is conceived as an extension of the Downtown and seeks to complement the established surrounding community. The Plan District is to become a mixeduse, transit centered neighborhood that includes uses and features associated with the center of the City. It will embody civic qualities and is likely to inspire a sense of civic pride in those who use it. In order to accomplish these purposes, four land use sub-districts are designated exclusively within the boundaries of the Civic Neighborhood Plan District. All of the sub-districts permit commercial, residential, and mixeduse developments. The sub-districts are distinguished by differences in emphasis on primary uses and intensity of development. The four land use sub-districts are designed to work together to result in a lively, prosperous neighborhood that serves as an attractive place to live, work, shop, and recreate with less reliance on the automobile than is typical elsewhere in the community. Map 4.1200A – Gresham Civic Neighborhood Land Use Sub-Districts (Appendix 38, Volume 1-Findings, Gresham Community Development Plan) shows the land use plan for the district.

Civic Neighborhood Sub-District Characteristics

4.1210 Transit Development District - Medium Density - Civic (TDM-C)

This designation affects land in the Civic Neighborhood which has good access both to existing and future light rail stations and to abutting major and standard arterial streets. Primary uses permitted include commercial, retail, and service uses occupying the ground floor area and all or a portion of the second story. Also permitted are mixed-use and multi-family developments with a minimum density of 24 units per net acre. Larger buildings are encouraged in these areas, with parking under, behind, or to the sides of buildings.

4.1211 Transit Development District - High Density - Civic (TDH-C)

This designation affects land around existing and future light rail stations in the Civic Neighborhood area. Primary uses permitted include office buildings, retail, and service uses. Also permitted are mixed-use developments and multi-family residential at a minimum density of 30 units per net acre. Larger buildings are encouraged in these areas, with parking under, behind, or to the sides of buildings. Free-standing retail uses are allowed up to 10,000 square feet of floor area.

4.1212 High-Density Residential - Civic (HDR-C)

This designation is applied to property which is within walking distance of light rail stations, but generally somewhat farther removed from the stations than the TDH-C district. Areas designated HDR-C are highdensity residential neighborhoods with a minimum of 24 units per net acre. Secondary uses include neighborhood commercial uses, smaller scale offices and neighborhood parks. Small free-standing OfficeCommercial uses are allowed within mixed-use developments, provided they do not occupy more than 50% of the residential floor area, and that minimum residential densities are met. Retail uses in freestanding buildings are not permitted, but are allowed within mixed-use buildings, provided they do not occupy more than 10,000 square feet of floor area, and that minimum residential densities are met.

4.1213 Moderate-Density Residential - Civic (MDR-C)

This designation is applied to property which is within walking distance of light rail stations and bordering

[4.12]-2 City of Gresham Development Code (10/16)

Wallula. Areas designated MDR-C are moderate-density residential uses with a minimum density of 17 units per net acre. Typical forms of housing include row houses, garden apartments, condominiums, and podium apartments. Mixed-use and neighborhood-scale commercial uses are allowed to locate within residential buildings occupying up to 100% of the ground floor area provided that minimum residential densities are met.

For purposes of this Plan District, the boundaries of the sub-districts shall be the centerline of the adjacent public rights of way depicted on the Community Development Plan Map. Any modification of the centerline of such rights of way pursuant to Section 4.1244 below shall result in a corresponding modification of the affected sub-district boundary.

Permitted Uses

4.1220 Permitted Land Uses

Table 4.1220 lists the types of land uses which are permitted in the Civic Neighborhood Plan District.

• P = Permitted use

• L = Use is permitted, but is limited in the extent to which it may be permitted

• NP = Use not permitted

• SUR = Use permitted subject to a Special Use Review

Each of these uses must comply with the land use district standards of this section and all other applicable requirements of the Community Development Code.

Table 4.1220: Permitted Uses in the Civic Neighborhood District

City of Gresham Development Code (10/16)
[4.12]-3
USES TDM-C TDH-C HDR-C MDR-C RESIDENTIAL1 Single-Family Detached Dwelling NP NP NP NP Duplex NP NP NP NP Single-Family Attached Dwellings P P P P Attached Dwellings on a Single Lot P P P P Elderly Housing SUR SUR SUR SUR Manufactured Dwelling Park NP NP NP NP Residential Facility P P P P Residential Home NP NP NP NP COMMERCIAL Auto-Dependent Use L2 L2, 3 L2 L2 Business and Retail Service and Trade L4 L 3, 4, 5 L4, 6 L4,7 Clinics P L3 L8 L7 Commercial Parking SUR SUR SUR SUR Daycare Facilities L4 L3, 4 L4 L4, 7 Live-Work P P P P

1 Temporary health hardship dwellings may be permitted with a pre-existing single-family detached dwelling home.

2 Limited to sites fronting Burnside, Eastman and Division. See Section 4.1238

City of Gresham Development Code (10/16) USES TDM-C TDH-C HDR-C MDR-C Major Event Entertainment SUR SUR SUR SUR Mini-Storage Facilities NP NP NP NP Outdoor Commercial NP NP NP NP INDUSTRIAL Construction NP NP NP NP Exclusive Heavy Industrial Uses NP NP NP NP Industrial Office NP NP NP NP Information Services NP NP NP NP Manufacturing NP NP NP NP Miscellaneous Industrial NP NP NP NP Trade Schools NP NP NP NP Transportation/Distribution NP NP NP NP Warehousing/Storage NP NP NP NP Waste Management NP NP NP NP Wholesale Trade NP NP NP NP INSTITUTIONAL USES Civic Uses SUR SUR3 SUR SUR Community Services SUR SUR3 SUR SUR Medical SUR SUR3 SUR SUR Parks, Open Spaces and Trails L/SUR9 L/SUR9 L/SUR9 L/SUR9 Religious Institutions L4 L 3, 4, 5 L4, 6 L4, 7 Schools P/SUR11 P/SUR3,11 L4,11 P/SUR11 RENEWABLE ENERGY12 Solar Energy Systems L/SUR13 L/SUR13 L/SUR13 L/SUR13 Wind Energy Systems L/SUR14 L/SUR14 L/SUR14 L/SUR14 Biomass Energy Systems L15 L15 L15 L15 Geothermal Energy Systems L/SUR16 L/SUR16 L/SUR16 L/SUR16 Micro-Hydro Energy Systems L17 L17 L17 L17 OTHER Basic Utilities Minor basic utilities Major basic utilities P SUR P SUR P L/SUR10 P L/SUR10 Heliports SUR SUR SUR SUR Wireless Communication Facilities SUR SUR SUR SUR Temporary, Intermittent & Interim Uses P P P P Marijuana Businesses NP NP NP NP
[4.12]-4
Table 4.1220 Notes

3 For Blocks A-6, A-9 and A-10, these uses shall be permitted only when minimum residential densities are met.

4 The amount of site area used for outdoor business activities, product display, or storage shall not exceed 50% of the amount of floor area on the site.

5 When included in a mixed use development, the maximum building footprint size for a free-standing building occupied by this type of use shall be 10,000 square feet. Theaters, hotels and restaurants are not subject to this size limitation and are permitted as stand-alone uses.

6 These uses are permitted only within mixed use developments and shall have a maximum size of 10,000 square feet, provided that the minimum residential densities are met.

7 When included in a mixed use building, this use may occupy up to 100% of the ground floor area. Uses with this footnote are not permitted in any mixed use development where the minimum residential density is not met.

8 This use is allowed only in mixed use developments. Clinics shall not exceed 50% of the proposed residential floor area within the mixed use development and shall be permitted only when minimum residential densities are met.

9 Golf courses are not permitted in the Civic Neighborhood Plan District.

10 Electrical generating facilities and sewage treatment plants are not permitted in the Civic Neighborhood Plan District.

11 Schools are permitted without a Special Use Review if they are occupying an existing commercial space. Schools must pursue a Special Use Review if they are proposing new construction.

12 See Section 10.900 for additional standards that apply

13 For limitations, see Section 4.1250 Solar Energy System Standards for Civic Neighborhood Districts

14 For limitations, see Section 4.1251 Wind Energy System Standards for Civic Neighborhood Districts

15 For limitations, see Section 4.1252 Biomass Energy System Standards for Civic Neighborhood Districts

16 For limitations, see Section 4.1253 Geothermal Energy System Standards for Civic Neighborhood Districts.

17 For limitations, see Section 4.1254 Micro-Hydro Energy System Standards for Civic Neighborhood Districts.

Civic Neighborhood Sub-District Standards

4.1230 Civic Neighborhood Sub-District Standards

Table 4.1230 summarizes development standards which apply within the Civic Neighborhood Plan District and which may, as provided in Section 4.1000(C), modify or replace other standards contained in the Community Development Code and implementing regulations. The standards contained in this table are supplemented by referenced subsections of Section 4.1200, which provide additional clarification and guidance. Existing developments which do not meet the standards specified for a particular sub-district may continue in existence and be altered, subject to provisions of Section 8.0200, Existing and Nonconforming Uses.

City of Gresham Development Code (10/16)
[4.12]-5

Table 4.1230 Civic Neighborhood Sub-District Development Standards

[4.12]-6 City of Gresham Development Code (10/16)
TDM-C TDH-C HDR-C MDR-C A. Minimum Lot Size (Section 4.1231) None None None None B. Minimum Average Floor Area Ratio (FAR) (Section 4.1232) 0.4:1 south; 0.6:1 north5 1.1:1 None None C. Minimum Residential Density (Section 4.1232) (See Net Acreage definition In Article 3) 24 units per net acre 30 units per net acre 24 units per net acre 17 units per net acre D. Maximum Residential Density (See Net Acreage definition In Article 3) None None None 30 units per net acre E. Minimum Building Setbacks (Section 4.1234) 0 feet 0 feet 0 feet 5 feet front; 10 feet rear; 0 ft. interior side; 5 feet street side, 20 feet from Wallula ROW F. Maximum Building Setbacks on all street frontages (Section 4.1234) 0 feet on Primary Pedestrian Streets; 5 feet on all other frontage abutting a public right of way3 0 feet on Primary Pedestrian Streets; 5 feet on all other frontage abut-ting a public right of way3 0 feet on Primary Pedestrian Streets; 5 ft. on all other frontage abut-ting a public right of way3 20 feet front; none for rear & interior side; 20 feet for street-side3 G. Minimum Building Height (Section 4.1233) 22 feet1 22 feet1 22 feet1 22 feet1 H. Maximum Building Height (Section 4.1233) 40 feet, or 80 feet maximum with built-in fire protection system 40 feet, or 80 feet maximum with builtin fire protection system 40 feet, or 80 feet maximum with builtin fire protection system6 40 feet I. Minimum Off-Street Parking Required (Section 4.1237) None required for Commercial uses 1 space/unit for residential 1 space per 1,000 square feet or the minimum in Table 9.0851, whichever Is less, for institutional7 None required for Commercial uses 1 space/unit for residential 1 space per 1,000 square feet or the minimum in Table 9.0851, whichever Is less, for institutional7 None required for Commercial uses 1 space/ unit for residential None required for Commercial uses 1 space/unit for residential J. Maximum Off-Street Parking Permitted (Section 4.1237) Residential 1½ space/ unit. Commercial2, 4 Residential 1½ space/ unit. Commercial2, 4 Residential 1½ space/ unit. Commercial2, 4 Residential 1½ space/ unit. Commercial2, 4

Table 4.1230 Civic Neighborhood Sub-District Development Standards

K. Ground Floor Window Standards Apply (Section 4.1235)

L. Screening & Buffering Required (Section 9.0100)

Table 4.1230 Notes:

1 Two story frontages are required on designated Primary Pedestrian Streets. (For purposes of the Civic Neighborhood Plan District, a Primary Pedestrian Street is a street so designated on Map 2 of Appendix 38, Volume 1 of the Community Development Plan.)

2 For mixed use developments, the total requirements for off-street parking shall be the sum of the requirements for the various uses computed separately.

3 The maximum front or streetside setback may be exceeded subject to the Manager’s approval when enhanced pedestrian spaces and amenities are provided. (See Section 4.1234).

4 See Maximum Parking Table, Section 9.0852(A).

5 A minimum FAR of 0.4:1 is required south of the MAX line; and a minimum FAR of 0.6:1 is required to the north of the MAX line

6 A maximum building height of 60 feet applies to the eastern-most tax lot of Parcel A3 fronting NW Florence Avenue and designated HDR-C.

7 Minimum parking standard only applies within 1,000 feet of a MAX station. The only exceptions allowed to this minimum are Sections 9.0853(C) and (E) and Sections 10.1510 and 10.1530 Institutional uses more than 1,000 feet from a MAX station, see Section 9.0851

4.1231 Lot Size

There is no required minimum lot size for any use within the Civic Neighborhood Plan District. Land Divisions are subject to provisions of Appendix 5.000 of the Gresham Community Development Code.

4.1232 Minimum Densities

A. Purpose. Minimum densities are a tool for achieving the intensity of development. Minimum FAR's help to ensure that the most intensive forms of building development will occur in those areas appropriate for multi-story commercial buildings and higher residential densities. The more intensive levels of development brought about by minimum FAR's close to light-rail stations also encourage increased use of light rail transit.

B. Minimum Densities Required minimum densities shall be calculated on a project by project basis, and may include multiple contiguous blocks. Each project shall meet residential or commercial density requirements. In the case of a master plan, minimum densities will be calculated on the development of the master plan area as a whole. In residential zones allowing commercial uses, minimum residential densities shall be met within each project. Projects involving part of a block shall be required to submit a master plan showing how whole block standards will be met. However, in the case of a master plan, no commercial phase shall be developed to a density of less than 75% of the required minimum FAR. A master plan may not depend on redevelopment of early phases to achieve overall minimum density requirements.

C. FAR Standard. The minimum floor area ratios contained in Table 4.1230 apply to all nonresidential building development. In mixed-use developments, residential floor space is included in the calculations of floor area ratio to determine conformance with minimum FAR.

[4.12]-7

City of Gresham Development Code (10/16)
TDM-C TDH-C HDR-C MDR-C
Yes Yes Yes Yes
N N N N

D. Transfer of Floor Area and Residential Density. In the TDH-C and HDR-C sub-districts, floor area and residential density may be transferred between sites located within either of these same sub-districts through the Type II process. The sites are not required to be abutting; however, both the sending site and receiving site must be located within the Civic Neighborhood Plan District. Floor area and residential density transfers are subject to the following:

1. Buildings on each site may not exceed the height limit established for that site by Section 4.1233.

2. Transfers from sending sites are limited to 50% of the required minimum average floor area ratio and minimum residential density applicable to that site.

3. Transfers to receiving sites are limited to 100% of the minimum floor area ratio and minimum residential density applicable to that site. Receiving sites must be developed to achieve at least the minimum floor area ratio and minimum residential density applicable to that site plus any transferred density.

4. All involved property owners must be parties to the Type II application for the density transfer.

4.1233 Building Height

A. Purpose. The minimum and maximum building height standards are used to establish appropriate scales of buildings in specific areas of the Civic Neighborhood, to achieve a pedestrian-friendly character supportive of a dense mix of residential and commercial uses. Buildings which are compatible in scale help to create a harmonious visual setting which enhances the livability of a neighborhood.

B. Minimum Height Standards. The minimum building height requirement of 22 feet is applicable to all street frontages in the Plan District, but is not applicable to parts of buildings which are not visible from streets adjacent to the building.

1. Minimum building height standards apply to new commercial and residential buildings. They do not apply to accessory structures, one-time additions or expansions of nonconforming structures of no more than 25% and less than 1,000 square feet, or buildings of less than 1,000 square feet in area.

2. Facades of at least two stories are required on designated Primary Pedestrian Streets.

3. Where two stories are required, the second story shall be designed in conformance with Section 4.1235 (B)(1)(b) and (d) for any facade which faces a public street.

C. Maximum Height Standards. Three stories or 40 feet unless equipped with built-in fire protection systems. When fire sprinklers, alarms, and when needed, enclosed, pressurized exit stairwell systems are provided, the building height may be increased to 80 feet. No increase in height above 40 feet is permitted in MDR-C sub-districts.

D. Second Story Active Uses along Primary Pedestrian Streets On Primary Pedestrian Streets north of the MAX line, the second story shall contain floor space suitable for occupancy by commercial, residential or community service use, or an atrium, and shall have a minimum depth from the Primary Pedestrian Street of 30 feet. Parking structures constructed per the requirements of Section 4.1235(B)(2) are exempt from this section. (See Section 4.1248 for mixed use requirements adjacent to the LRT station and public plaza.) Primary and Secondary Pedestrian Streets are shown on Map 4.1247A.

[4.12]-8

City of Gresham Development Code (10/16)

E. Height standards for single family attached dwellings are identified in Table 7.0201(L)(3)(f).

4.1234 Setbacks

A. Purpose. Required building setbacks are devised to complement applicable standards for building heights and floor area ratios to ensure placement of buildings in a way which creates an attractive streetscape and pleasant pedestrian environment. These regulations also assist compatibility of building scale, leading to coherent design schemes throughout the Civic Neighborhood Plan District.

B. Building Setback Standard. Required minimum and maximum setback standards are stated in Table 4.1230. These setback standards apply to buildings only.

1. Minimum setback distances shall be determined in conformance with the definition for "Setback" as specified in Section 3.0100 - Definitions

2. Conformance with maximum setback distance is achieved when no portion of a building’s primary façade(s) is farther from the adjacent property line than the distance specified for Maximum Building Setback in Table 4.1230. However, maximum building setbacks may be exceeded when a development incorporates enhanced pedestrian spaces and amenities which occupy not less than 100% of the additional setback area. Enhanced pedestrian spaces and amenities consist of features such as plazas, arcades, courtyards, lawns, outdoor cafes, widened sidewalks, benches, shelters, street furniture, public art, or kiosks. In addition, the maximum setback distance may be exceeded for purposes of complying with Section 4.1235(B)(1)(c) and (e)

3. For single-family attached dwellings with direct auto access from the street, garage entrances shall not be closer to the street property line than any other portion of the front facade of the building. Setback standards for single family attached dwellings are specified in Table 7.0201(L)(3)(a)

4.1235 Ground Floor Windows, Window Walls, Blank Walls, and Design

A. Purpose. Long expanses of blank walls facing the street or other public area severely detract from the attractiveness and perceived safety of pedestrians using those spaces. The standards of this section are intended to enhance street safety and provide a comfortable street environment by providing ground-level features of interest to pedestrians along streets. These standards also have the purpose of encouraging surveillance opportunities as buildings address abutting streets and public areas, preventing fortress-like facades, and avoiding a monotonous pedestrian environment.

City of Gresham Development Code (10/16)
[4.12]-9

B. Standards

1. All new commercial, mixed-use and institutional buildings in the Civic Neighborhood PD shall comply with the following standards for Ground Floor Windows, Window Walls and Blank Walls:

a. All development shall provide ground floor windows along street facades, in conformance with Subsection d, below. Required window areas must be either windows that allow views into working areas or lobbies, pedestrian entrances, or display windows. Required windows may have a sill no more than 4 feet above grade. Where interior floor levels prohibit such placement, the sill may be raised to allow it to be no more than 2 feet above the finished floor level, up to a maximum sill height of 6 feet above grade.

b. Darkly tinted windows and mirrored windows that block two-way visibility are prohibited as ground floor windows along street facades.

c. Where building frontage along a street is greater than 100 feet in length in the HDR-MDR, and TDH sub-districts, or greater than 200 feet in length in the TDM sub-district, elements such as bay windows and recessed entrances shall be used for pedestrian scale.

d. Except in the TDM-C sub-district, any wall which is within 30 feet of the street shall contain at least 50% of the ground floor wall area facing the street in display areas, windows, or doorways. In the TDM-C sub-district, any wall which is within 30 feet of a primary pedestrian street, and within 30 feet of a secondary pedestrian street shall contain at least 50% and 20%, respectively, of the ground floor wall area facing the street in display areas, windows, or doorways. Primary and Secondary Pedestrian Streets are shown on Map 4.1247A

e. Buildings must include changes in relief on 15% of their street facades such as cornices, bases, fenestration, fluted masonry or other treatments for pedestrian interest and scale.

2. For all new multi-level parking structures fronting a primary pedestrian street, at least 50% of such ground-floor street frontage, excluding driveway entrances and elevators, shall be designed to accommodate commercial floor space, in addition to complying with Subsection (1). For purposes of complying with Subsection (1) (a) and (d), any wall openings in a parking structure (except driveway entrances) which allow for viewing into the structure from an abutting street shall be considered the equivalent of display areas, windows, and doorways.

4.1236 Building Lines, Orientation and Primary Entrance

A. Purpose. The purpose of this section is to require buildings and entrances to be oriented to the street, with windows looking out onto and surveying the street, in order to make walking safe and direct. Requirements for orientation and primary entrances are intended to:

1. Provide for convenient, direct, and accessible pedestrian routes to and from public sidewalks and transit facilities;

2. Provide for safe, pleasant and convenient pedestrian circulation by connecting activities within a structure to the adjacent sidewalk and to nearby transit stops; and

City of Gresham Development Code (10/16)
[4.12]-10

3. Promote the use of pedestrian and transit modes of transportation to retail and commercial facilities.

B. Standards:

1. All new commercial, mixed-use, and institutional buildings in all sub-districts of the Civic Neighborhood PD shall comply with the following standards for Building Orientation and Primary Entrance:

a. All buildings shall have at least one (1) of their primary entrances face an abutting street or, if available, on a primary pedestrian street, rather than the parking area. A building may have more than one (1) primary entry, as defined in the Building Code.

b. Building entries must comply with the accessibility Standards as outlined in the Building Code.

c. Buildings shall have a primary entrance connecting directly between the street and the building interior. This entrance shall be open to the public during all business hours.

d. Primary building entrances shall be architecturally emphasized and visible from the street.

e. The minimum lighting level for building entries is 4 foot-candles. Lighting shall be a pedestrian scale 3 feet to 12 feet and the source light shall be shielded to reduce glare.

f. For building facades over 300 feet in length in the HDR, MDR, and TDH subdistricts, and over 350 feet in length in the TDM sub-district, respectively, facing a street, two or more building entrances on the street must be provided.

g. Building entrances shall incorporate arcades, roofs, porches, alcoves, porticoes and awnings that protect pedestrians from the rain and sun.

h. If the building has frontage on more than one street, the building shall provide a primary entrance facing one of the streets, or a single entrance to the corner where two streets intersect.

4.1237 Off-Street Parking

See Section 9.0800 for general parking lot design standards and submittal requirements. Parking lot location shall be in accordance with Section 9.0821. Parking space minimums and maximums shall be as determined in Table 4.1230(I) and (J), Table 4.1230(A), and Section 9.0852(A) Interim Parking is permitted in the Civic Neighborhood, when in accordance with Section 9.0860

4.1238 Auto Dependent Uses

A. Purpose:

The Civic Neighborhood Plan District is intended to function equitably for all modes. This means that most uses are designed and developed at a pedestrian scale, with ease, safety, and convenience of pedestrian movement being a primary objective. In order for this objective to be achieved, it is important to limit the number of vehicles and their movements within this district. Auto dependent uses, to the extent that they are permitted in this Plan District, are therefore limited to perimeter

[4.12]-11

City of Gresham Development Code (10/16)

sites where existing traffic volumes are already relatively high, and conflicts with pedestrian movements within the Civic Neighborhood Plan District would be minimal.

B. Auto-Dependent Uses Standard:

Auto-dependent uses are limited to sites fronting on Burnside Road, Eastman Parkway, and Division Street.

4.1239 Drive-Through Uses

A. Purpose:

Drive-through uses (defined in Section 3.0100) conflict with the safe and convenient movement of pedestrians and bicycles within the Civic Neighborhood Plan District. Drive-through uses are therefore not permitted in the Civic Neighborhood except when such use is incidental to a primary site use, and when designed in conformance with the following standards.

B. Drive-Through Uses Standards:

1. The drive-through use shall be limited to one service window which is part of a primary use structure, and to no more than two queuing lanes.

2. No curb cuts are permitted for the exclusive use of drive-through queuing or exit lanes on Burnside Road, Eastman Parkway, and Division St.

3. The drive-through service window and queuing lane(s) shall be located as far as practical from any nearby transit facility.

4.1240 Site Landscaping

A. Purpose

Some site landscaping is required in the Civic Neighborhood Plan District because it contributes to the quality and character of open spaces. It also helps to reduce stormwater runoff by reducing impervious surface area.

B. Site Landscaping Standard

There is no minimum site area landscaping requirement. For all new development in the Civic Neighborhood Plan District, any site area not developed for building, parking, or enhanced pedestrian spaces shall be improved with landscaping, as defined in Section 3.0100. Examples of enhanced pedestrian spaces include plazas, arcades, galleries, courtyards, outdoor cafes, widened sidewalks, benches, shelters, street furniture, public art, or kiosks. Street trees are required, as provided in Section 9.1000

4.1241 Residential Open Space and Design

A. Purpose

These standards ensure a minimal amount of open space for residents of all new attached dwellings on a single lot, whether as part of a mixed-use development, or as a free-standing residential development. However, to encourage greater densities and maximize efficient use of site areas, shared open spaces are not required in residential developments. Outdoor private space required in Section 7.0103 and Section 7.0201 increases the livability of neighborhoods within the Civic Neighborhood Plan District, and provides outdoor living and recreational opportunities which are immediately available to residents.

[4.12]-12

City of Gresham Development Code (10/16)

B. Required Residential Open Space

The design criteria, guidelines and standards of Section 7.0103 and Section 7.0201 shall apply to all residential developments and to dwellings within a mixed-use development, except as provided below:

1. Single-family attached dwellings are required to meet the standards of Sections 7.0201(L) and (K) and shall be exempt only from the following criteria and standards of Section 7.0201 (all other sections do apply):

a. Section 7.0201(D) (1) through (2);

b. Section 7.0201(J);

2. Dwellings in mixed-use developments shall be exempt only from the following criteria and standards of Section 7.0201 (all other sections do apply):

a. Section 7.0201(D) (1) through (2);

b. Section 7.0201(I).

4.1242 Architectural Design Review Guidelines A. Purpose

The guidelines contained in this section are intended to encourage good quality design in new building construction within the Civic Neighborhood Plan District, and are not to be construed as mandatory approval criteria. Good design results in buildings which are visually compatible with one another and adjacent neighborhoods contributing to a district which is attractive, stimulating, active, and safe. These qualities in turn contribute to the creation of a Civic Neighborhood core which facilitates easy pedestrian movement and establishment of a rich mixture of uses. A diversity of architectural styles is encouraged in the District.

B. Provisions of this section shall apply to proposals for the following types of building construction within the Civic Neighborhood Plan District:

1. New attached dwellings;

2. New commercial buildings;

3. New mixed-use buildings;

4. New institutional buildings;

5. Substantial improvement (as defined in Section 3.0103) of any of the building types specified in this subsection.

6. Structural alteration to a façade which requires a building permit.

C. Provisions of this section shall not apply to new accessory structures with less than 1,000 square feet of floor area, or to alternations of existing accessory structures with less than 1,000 square feet of floor area.

D. In addition to other application materials required for a development permit, the applicant shall submit exterior building elevation drawings for the proposed construction at a minimum scale of one-eighth inch equals one foot. These plans shall show the size, location, materials, colors, and characteristics of all proposed exterior building features. For purposes of this section, color photographs may be submitted in lieu of exterior elevations for existing buildings.

City of Gresham Development Code (10/16)
[4.12]-13

E. A development permit application for construction subject to architectural design shall be referred to the Design Commission for review. In its review, the Design Commission shall make findings and recommendations concerning conformance with the guidelines of this section. The findings of the Design Commission shall be considered advisory only, and not binding upon the applicant.

F. Review of plans by the Design Commission shall take place in accordance with Article 11.

G. General Guidelines for Architectural Design Review

1. Buildings should promote and enhance a comfortable pedestrian scale and orientation. Facades should be varied and articulated to provide visual interest to pedestrians. Within larger projects, variations in facades, floor levels, architectural features, and exterior finishes are encouraged to create the appearance of several smaller buildings.

2. Upper stories should be articulated with features such as bays and balconies.

3. To balance horizontal features on longer facades, vertical building elements, such as stairs to upper stories and building entries, should be emphasized.

4. Buildings should incorporate features such as arcades, roofs, porches, alcoves, porticoes, and awnings to protect pedestrians from the rain and sun.

5. Special attention should be given to designing a primary building entrance which is both attractive and functional. Primary entrances should be clearly visible from the street, and incorporate changes in mass, surface, or finish to give emphasis to the entrance. All building entrances and exits should be well lit.

6. Certain buildings, because of their size, purpose, or location should be given special attention in the form of ornamental building features, such as towers, cupolas and pediments. Examples of these special buildings include theaters, hotels, cultural centers, and civic buildings.

7. Buildings located at the intersection of two streets should consider the use of a corner entrance to the building.

8. Exterior building materials and finishes should convey an impression of permanence and durability. Materials such as masonry, stone, stucco, wood, terra cotta, and tile are encouraged. Windows are also encouraged, where they allow views to interior activity areas or displays. However, glass curtain walls, reflective glass, and painted or darkly tinted glass should not be used.

9. Where masonry is used for exterior finish, decorative patterns (other than running bond pattern) should be considered. These decorative patterns may include multi-colored masonry units, such as brick, tile, stone, or cast stone, in a layered or geometric pattern, or multi-colored ceramic tile bands used in conjunction with materials such as concrete or stucco.

10. Preferred colors for exterior building finishes are earthtones, creams, and pastels of earthtones. High-intensity primary colors, metallic colors, and black should be avoided.

11. All roof and wall-mounted mechanical, electrical, communications, and service equipment, including receive-only antennas greater than one meter in diameter and vent pipes, shall be removed or screened from public view by parapets, walls, fences, dense evergreen foliage, or by other suitable means.

[4.12]-14

City of Gresham Development Code (10/16)

12. For buildings designed to house most types of retail, service, or office businesses, traditional storefront elements are encouraged for any facade facing a primary pedestrian street. These elements include:

a. Front and side building walls placed within 10 feet of abutting street right-of-way boundaries;

b. Clearly delineated upper and lower facades;

c. A lower facade containing large display windows and a recessed entry or entries;

d. Smaller, regularly spaced windows in upper stories;

e. Decorative trim, such as window hoods, surrounding upper floor windows;

f. A decorative cornice near the top of the facade;

g. Piers or pilasters, typically of masonry.

13. Individual windows in upper stories should conform with the following guidelines:

a. Glass area dimensions should not exceed 5 feet by 7 feet (The longest dimension may be taken either horizontally or vertically.)

b. Windows should have trim or molding at least two inches wide around their perimeters.

14. Ornamental devices, such as molding, entablature, and friezes, are encouraged at the roofline. Where such ornamentation is present in the form of a linear molding or board, the band should be at least 8 inches wide.

15. Arbors or trellises supporting living landscape materials should be considered for ornamentation of exterior walls. Any such feature should cover an area of at least 100 square feet, and include sufficient plantings to achieve at least 30% coverage by plant materials within three years.

4.1243 View Protection A. Purpose

Views of nearby features such as the station plaza, and of distant objects such as Cascade mountain peaks contribute to the special identity of the Civic Neighborhood. Each new building will inevitably limit views from buildings and sites nearby. The purpose of this guideline is to ensure that all reasonable care is taken to avoid obstructing valued views.

B. View Protection Guidelines

No public view corridors have been designated within or across the Plan District. In siting, orienting and designing structures anywhere within the Civic Neighborhood, consideration shall be given to public and private views from within the Neighborhood and beyond, which may be affected by new construction or associated landscaping. While it is unreasonable to deny the right to develop a site because views will be affected, it is reasonable to require the applicant to consider such factors as alteration of grade, height of buildings, length of buildings, siting and orientation. Also to be considered are species and locations of trees and shrubs to be planted, and the height and transparency of fences and other structures. Applicants shall, therefore, demonstrate that minimization of view encroachment has been taken into consideration in proposed developments, provided that such consideration shall not be a basis for review of or authorization of a proposed project.

City of Gresham Development Code (10/16)
[4.12]-15

C. Special provisions for northwest portions of the site which are above the 330 foot contour are given below:

1. Purpose

The northwestern portion of the Civic Neighborhood stands atop a bluff providing an unobstructed view of Mount Hood to the east. This scenic view should be preserved in a manner benefiting all the potential uses of this area, both to enhance and to increase the desirability of those uses and the likelihood of successful development.

2. Maximizing Scenic Views Guideline

All development atop the bluff in the northwestern portion of the Civic Neighborhood shall be designed to achieve a reasonable balance between (1) taking advantage of the scenic view, if desired, and (2) permitting the scenic view to be available to other development atop the bluff. Factors to be considered in achieving this balance shall include alterations of grade, height of buildings, length of buildings, and vegetation. Vegetation, while desirable, should be limited in height so as to avoid any diminution of the scenic view.

4.1244 Street Requirements

A. Purpose

Public right of way widths and alignments are described in Section 4.1247 Street Design Requirements for the Civic Neighborhood Plan District, and are generally to be adhered to. Map 4.1247A – Functional Street Classifications, shows the Civic Neighborhood street plan. However, lateral adjustment of some streets may be allowed in order to provide greater flexibility in the configuration of development. In addition, this section provides for street and pedestrian/bicycle accessway design flexibility when specific development opportunities are realized.

B. Street Improvements and Standards

1. The Functional Street Classification plan for the Civic Neighborhood supersedes the Transportation System Plan Functional Classification Plan and is shown on Map 4.1247A, and streets, accessways and multi-use pathways shall be constructed per the standards contained in Section 4.1247

2. Gresham Civic Neighborhood Pedestrian Accessways shown on Map 4.1247A may be replaced with a Shared Street if criteria for Shared Streets are met, and the replacement is approved by the Manager

3. A Shared Street may be constructed as adjacent properties are developed at locations shown on Map 4.1247A, and per standards in Section 4.1247. Shared Streets are subject to the following criteria:

a. A Shared Street must connect at both ends with a public street;

b. Shared Streets shall be permanent public access easements;

c. If the Shared Street design is not desired or approvable, a local street shall be provided per the requirements of Section 4.1247.

d. Developments adjacent to Shared Streets are subject to the requirements of Section 4.1236 - Building Lines, Orientation and Primary Entrances.

4. If a Shared Street is proposed to replace a Pedestrian Accessway through Blocks A9-10, a GCN Pedestrian Accessway is required from NW Civic Drive to the Shared Street if the Shared Street does not extend to NW Civic Drive.

[4.12]-16

City of Gresham Development Code (10/16)

C. Standards for Street Modification

1. Public rights of way shown on the Plan Maps may be shifted by up to half the width of the right of way (30 feet) provided that all of the following conditions are satisfied:

a. All shifts shall be parallel to the mapped right-of-way center line;

b. Shifts shall not result in mis-aligned intersections within the Civic Neighborhood or across the streets which bound the neighborhood;

c. Shifts shall not affect mapped crossings or potential crossings of the light rail line.

2. The street separating Blocks G1 and G2 may be removed if a major commercial development is proposed. The development must include:

a. Ground floor retail with retail, office or residential uses above the ground floor;

b. Pedestrian access from NW Civic Drive to NW Sleret Drive, accessible to the public during normal business hours;

c. Conformance with one of the two following criteria must be met:

i. A minimum of 100,000 square feet of gross leasable area must be provided, or

ii. Significant topographic constraints exist.

D. Pedestrian/Bicycle Facilities

Pedestrian/Bicycle facilities are shown on Map 4.1247A and shall be constructed per the standards in Section 4.1247.

4.1245 Clear Vision Area Requirements

New development in the Civic Neighborhood Plan District is exempt from the Street and Railroad Clear Vision Area standards of Section 9.0200.

4.1246 Signage

A-Board signs may be permitted as provided in Appendix 6.000. The regulations of Section A6.000 shall be applied as follows in the Civic Neighborhood Plan District:

A. The regulations of Section A6.100 shall be applicable in the TDH-C and TDM-C sub-districts.

B. The regulations of Section A6.092 and A6.094 shall be applicable in the HDR-C sub-district.

C. The regulations of A6.094 shall be applicable in the MDR-C sub-district.

D. In all sub-districts, signage for multi-business complexes shall be regulated as provided in Section A6.101

Section 4.1247 Street Design Requirements

A. Purpose

Special street design features will support pedestrian-oriented, transit-supportive development in the Civic Neighborhood Plan District. These requirements will ensure consistent application of appropriate treatments throughout the district.

B. Standards

All new development in the Civic Neighborhood Plan District shall comply with the following standards for street design in addition to the Public Works Standards. If a conflict arises, the Civic Neighborhood Plan District Street Standards supersedes the Public Works Standards.

[4.12]-17

City of Gresham Development Code (10/16)

1. Streets

a. Five Functional Street Classifications shall apply to the Civic Neighborhood Plan District (refer to Map 4.1247A and Public Works Standards Drawings 536, 537, 538). Table 1 notes the Functional Classifications and associated streets.

Note:

* In areas where traffic volumes and/or pedestrian volumes are high, and/or in areas where a high level of conflict between automobile traffic and pedestrians are projected, the Manager may require the following right-of-way improvements as defined in the Public Works Standards, in addition to those required under Section A5.400: landscaped medians, median island pedestrian refuges, traffic calming circles, and/or other mitigation measures.

** The Manager may approve an adjustment to the sidewalk corridor and right-of-way for local streets not designated Primary Pedestrian Streets per Section 4.1247(B)(2)(c).

*** On-street parking may be eliminated on one or both sides of a Local Street when it can be demonstrated that the on-street parking conflicts with adjacent land use. If on-street parking is removed, the Local Street ROW may be reduced accordingly (7’or 14’).

b. The shared street is intended for local access only and will help assure a continuous and connected street grid pattern where a local street may not be feasible, due to topography or other factors (see Map 4.1247A). A shared street shall be one-way and must connect at both ends with a public street (Civic Neighborhood Collector or Civic Neighborhood Local).

The shared street is shared by all travel modes. It includes landscaping and may

City of Gresham Development Code (10/16)
[4.12]-18
Civic Neighborhood Boulevard Civic Neighborhood Collector Civic Neighborhood Community Street Civic Neighborhood Local Civic Neighborhood Shared Street ROW 98’ to 116’ 80’ 60’ to 80’ 60’ 40’ Easement Travel Lane 11’ 11’ 11’ 9’ 11’ one-way On-Street Parking*** 0’ or 7’ 7’ Allowed 7’ Allowed Bike Lane (both sides of street) 6’ 6’ Allowed Not required Not required Sidewalk Corridor 15’ 15’ 13’ to 15’ 13’ See Section 4.1247(B)(1)(b) Landscaped Median 12’ to 16’ As required by Manager* Not Required As required by Manager* ** Not required Streets Burnside, Division, Eastman Civic Drive, Norman, Wallula See Map 4.1247A See Map 4.1247A See Map 4.1247A
Table 1: Street Classifications

include parking, and pedestrian amenities. The typical curb and sidewalk grade changes are eliminated for a single surface. The same paving material may cover the entire street width. Interlocking-pavers are preferred and color variations to demarcate parking or other special features are encouraged. There are no conventional, straight stretches of pavement with raised curbs. Pavement and sidewalks are not rigidly demarcated. The impression that the street is divided into a separate roadway for cars and pedestrians shall be avoided (refer to Figure A11.001, Appendix 11.000).

A 40-foot public access easement shall be dedicated for a shared street. Within the 40-feet, 11-feet maximum is dedicated to an automobile pathway that may also be used by bicycles, and pedestrians. The automobile pathway shall meander to allow automobile speeds of no faster than 10 to 15 mph. The street design shall encourage drivers to travel at a walking pace. Car speed and movement is restricted by physical barriers, and by deviations, bends, and undulations in the street. The centerline can shift up to 45 degrees at intervals. In general a shared street should appear as a pedestrian-only street yet accessible to automobiles (refer to Figure A11.002, Appendix 11.000).

The entrances and exits of a shared street shall be designed so that they can be clearly recognized and obvious to automobile drivers. Signs, raised pavement, colored pavers, and other distinctive design features shall be used to physically control travel speeds immediately upon entry of the shared street, and to clearly indicate the new street environment to all users.

A maximum volume of 800 vehicles per day is allowed on a shared street. A Civic Neighborhood Local Street shall be constructed if projected traffic volumes exceed 800 vehicles per day. The maximum length of a shared street shall be 900 feet. The minimum intersection spacing for shared streets shall be the same as for local streets at 100 feet.

Table 2: Shared Street Minimum Requirements

Public Access Easement 40 feet. Allowed within this space: automobile pathway, bicycle and pedestrian facilities, parking, lighting, landscaping, other pedestrian amenities such as benches. This is a single surface space with no demarcation or elevation changes for pedestrians.

City of Gresham Development Code (10/16)
[4.12]-19
Travel Lane Width 11 feet one-way travel Design Speed 10 to 15 mph ADT Maximum of 800 vehicles per day Street Length Maximum of 900 feet Intersection Spacing Minimum of 100 feet

c. Any substitution material or alternate method not explicitly approved by the Public Works Standards will be considered for approval as set forth in Section 1.0010 of the Public Works Standards. Persons seeking such approvals shall make application in writing. Approvals of any major deviation from the Public Works Standards shall be in written form. Approval of minor matters shall be made in writing if requested.

Any alternate must meet or exceed the minimum requirement in the Public Works Standards. The written application is to include, but is not limited to, the manufacturer’s specifications and testing results, design drawings, calculations, and other pertinent information.

Any deviations or special problems shall be reviewed on a case-by-case basis and approved by the City’s Engineer. When requested by the City, full design calculations shall be submitted for review with the request for approval.

2. Sidewalk Corridor:

a. The standard sidewalk corridor shall consist of the following (refer to Figure A11.003, Appendix 11.000):

i. A 6” wide curb

ii. In primary commercial zones:

A. A minimum 4-foot wide amenities zone abutting the curb for street trees, signs, utility and streetlight poles, fire hydrants, bike racks, etc. The amenity zone shall be hard surfaced and a contrasting color and texture from the sidewalk as approved by the Manager.

B. A minimum 9-foot wide through-zone that is clear of all obstacles including utility vaults. Tree wells shall not be included in the 9-foot through-zone. The through-zone shall parallel the street and provide a direct, hard-surfaced, walking path.

b. In primary residential zones:

i. The amenity zone shall be a minimum of 5-feet and landscaped with a low growing groundcover, such as grass, as approved by Manager. The Manager may approve the use of hard surface of contrasting color and texture from the sidewalk in lieu of landscaping only where needed to accommodate pedestrian amenities such as street furniture or water fountains.

ii. A minimum 8-foot wide through-zone that is clear of all obstacles including utility vaults. Tree wells shall not be included in the 8-foot through zone. The through zone shall parallel the street and provide a direct, hardsurfaced, walking path.

c. Adjustments:

i. The Manager may approve an adjustment to the sidewalk corridor and rightof-way for local streets not designated Primary or Secondary Pedestrian Streets when:

City of Gresham Development Code (10/16)
[4.12]-20

A. The adjacent use is primarily residential;

B. There are fewer than three commercial building entries accessing the sidewalk;

C. Residential density on the abutting block is less than 50 percent higher than the minimum residential density specified in Table 4.1230

ii. In no case shall the sidewalk corridor consist of less than a 4-foot amenity zone and a 6-foot through-zone.

iii. All other requirements of Section 4.1247(B)(2) shall apply.

d. Overhead awnings or arcades shall be designed to protect the through-zone from rain water runoff.

e. Street Trees:

i. Street trees shall be placed in the amenity zone. Trees placed back of walk are not considered street trees and do not fulfill the requirements of Section 9.1000

ii. Tree grates or pavers shall be used in hard surfaced amenity zones. Plastic tree grates are not allowed (refer to Public Works Standards Drawing 533).

iii. Recommended street trees are designated per functional street classification as noted in Table 3

Civic Neighborhood Boulevard Civic Neighborhood Collector Civic Neighborhood Local or Shared

Littleleaf Linden Red Sunset Maple White or Green Ash

Northern Red Oak Hedge Maple Aristocrat Callery Pear

Accolade Elm Queen Elizabeth Maple Columnar Sargent Cherry

Autumn Purple White Ash Bowhall Maple European Hornbeam

3. Street lights: Decorative pedestrian scale street lighting is required as specified in Public Works Standards Drawings 528 or 532.

4. Intersections:

a. Intersection corners shall be clear of control boxes, street trees, utilities, etc. Traffic signs and signal poles shall be placed outside of the pedestrian through zone (refer to Figure A11.004, Appendix 11.000).

b. All crosswalks shall have a contrasting color and texture detail. Colored pavers or concrete is required (refer to Public Works Standard Drawings 534 and 535).

c. Curb extensions shall be required for all intersections and mid-block pedestrian crossings.

d. In no case shall the curb to curb width be less than 20 feet.

5. Shopping cart storage shall not be allowed within public rights-of way.

City of Gresham Development Code (10/16)
[4.12]-21
Table 3: Street Tree Recommendations

6. Any encroachments located in the public right-of-way or public pedestrian easement shall be subject to design approval by Manager.

7. Pedestrian connections (multi-use paths and GCN Pedestrian Accessways) shall be constructed as noted in Map 4.1247A. Specific alignments shall be reviewed and approved by the Manager and shall provide the point-to-point connections indicated.

a. The multi-use path shall be constructed of concrete and meet the requirements of the neighborhood pedestrian accessway standard (refer to Section A5.508 and Public Works Standard Drawing 515).

b. The Civic Neighborhood Pedestrian Accessway shall be used where indicated on Map 4.1247A

i. The Civic Neighborhood Pedestrian Accessway is a 20-to 40-foot public access easement or dedication. Within the 20-to 40-feet, a 12-to 20-foot wide concrete pathway is required. Other hard-surfaced materials may be used as a substitute to concrete with sufficient justification and approval by the Manager. The remaining space will be dedicated to landscaping, including trees, water features, and other pedestrian amenities (refer to Figure A11.005, Appendix 11.000).

ii. Non-permanent cart vendors, kiosks, outdoor restaurant seating, etc. may be allowed in a Pedestrian Accessway provided a minimum 12-foot wide pathway is continually clear of any and all obstructions.

iii. The Pedestrian Accessway shall be lighted per the multi-use path standards in section A5.508.

iv. Local Streets or Shared Streets may be used in lieu of a Pedestrian Accessway subject to approval of the Manager.

c. The multi-use path linking NW Council Drive at NW Florence Avenue to NW Shattuck Way shall provide a connection to NW Shattuck Way within an area extending at least 100 feet from the intersection with NW Burnside and 100 feet from the intersection with NW Florence Avenue. Map 4.1247A follows:

City of Gresham Development Code (10/16)
[4.12]-22
[4.12]-23 City of Gresham Development Code (10/16)

4.1248 Mixed Use Requirements Adjacent to Civic Neighborhood LRT Station and Plaza

A. Purpose

The purpose of this section is to require development projects adjacent to the Civic Neighborhood LRT Station and the public plaza planned on the north side of the station to contain a variety of commercial, residential and institutional uses. A mix of uses will assure a high level of pedestrian activity in the area at most times of the day, and will contribute to “eyes on the street”, enhancing security and safety in the area.

B. Standards

1. Development facing the light rail station, and facing the public plaza as shown on Map 4.1247A shall provide for a mix of uses. On these facing developments, Business and Retail Service and Trade, or institutional uses are required on the ground floor. Lobbies or entrances to residential uses are also permitted.

2. Ground floor Business and Retail Service and Trade and Institutional uses shall have primary customer entrances oriented toward the light rail station and public plaza. Off-street parking and loading is not permitted along these frontages.

3. Above the ground floor, Business Service, Institutional or residential uses are required, and the facing development shall have a minimum depth of 30 feet.

4.1249 Adjustments to Certain Development Standards on Primary Pedestrian Streets

A. Purpose

Development standards for Primary Pedestrian Streets are designed to achieve the purpose statement for the Civic Neighborhood, that is to achieve a mixed-use, transit centered neighborhood that has a high quality pedestrian environment and includes uses and features associated with the center of the City. However, because of the varied topographic conditions found within the Civic Neighborhood, some sites are difficult to develop in compliance with certain development standards. The adjustment process allows applicants to propose alternative designs that are consistent with the purpose of the standards and findings are made that the approval criteria are met.

B. Approval Criteria

Adjustment requests will be approved through a Type II process if the review body finds that the applicant has shown that all approval criteria have been met.

1. Granting the adjustment will continue to meet the purpose of the standard(s) to be modified in an acceptable alternative manner; and

2. The proposal will not significantly detract from the livability or appearance of an area and the proposal will be consistent with the desired character of the area; and

3. If more than one adjustment is being requested, the cumulative effect of the adjustments as well as each individual adjustment results in a project which is still consistent with the overall purpose, goals and standards of the zone; and

4. Granting the adjustment is the minimum necessary to allow the proposed use of the site, and any impacts resulting from the adjustment are mitigated to the extent practical.

City of Gresham Development Code (10/16)
[4.12]-24

C. Standards That May be Adjusted

The following standards may be adjusted using the adjustment process.

1. 4.1233(B)(1) and (2) Requires facades of at least two stories.

2. 4.1233(D) Requires second story active uses.

3. 4.1235(B). Requires ground floor windows.

4. 4.1236(B). Requires a primary entrance connecting to a street.

D. Sites Eligible for Adjustment Process

1. Sites where existing grades or necessary overall site grading results in a finished grade at the street right-of-way that is a minimum of six feet higher or lower than the abutting sidewalk grade.

4.1250 Solar Energy Standards for Civic Neighborhood Districts

Solar energy systems are limited in all Civic Neighborhood districts as follows:

A. Scale. Small and medium scale solar energy systems are permitted. Large scale systems are permitted with a Special Use Review.

B. Type. Roof-top, flat-roof, integrated and ground-mounted solar energy systems are permitted.

C. Height. The following limitations on maximum height apply to all solar energy systems:

1. Roof-top, Flat-roof and Integrated.

a. For roofs that are flat or the horizontal portion of mansard roofs, the solar energy systems on frames shall not exceed 10 feet above the roof height on which the system is installed.

b. For pitched, hipped or gambrel roofs, the solar energy system panels shall not exceed 18 inches in height from the surface of the roof on which the system is installed.

2. Ground-mounted. Ground-mounted solar energy systems shall not exceed 20 feet in height.

D. Setbacks and Yards. Solar energy systems are not allowed in the required front or street-side setbacks.

4.1251 Wind Energy Standards for Civic Neighborhood Districts

Wind energy systems are limited in all Civic Neighborhood districts as follows:

A. Scale. Small and medium scale wind energy systems are permitted. Large scale systems are permitted with a Special Use Review.

B. Type. Roof-top and ground-mounted wind energy systems are permitted.

C. Height. The following limitations on maximum height apply to all wind energy systems:

1. Roof-top. The height of roof-top wind energy systems shall not exceed a value equal to the building height when the building height is 45 feet or less. For buildings which exceed 45 feet in height, the wind energy system shall not exceed 45 feet maximum.

2. Ground-mounted. The height of ground-mounted wind energy systems shall not exceed 45 feet as measured from the grade at the base of the equipment to the top of the system. The height limit of 45 feet can be exceeded up to 110 feet with a Special Use Review.

City of Gresham Development Code (10/16)
[4.12]-25

D. Setbacks and Yards. Wind energy systems are not allowed in the required front, street-side, side or rear setbacks and are not allowed in the front yard or street-side yard between the building and the street.

4.1252 Biomass Energy Standards for Civic Neighborhood Districts

Biomass energy systems are limited in all Civic Neighborhood districts as follows:

A. Scale. Small scale biomass energy systems are permitted.

B. Type. Non-hazardous biomass systems are permitted.

C. Height. Biomass energy systems shall not exceed the maximum district height limits.

D. Setbacks and Yards. Biomass energy systems are not allowed in the required front, street-side, side or rear setbacks, and are not allowed in the front or street-side yards between the building and the street.

4.1253 Geothermal Energy Standards for Civic Neighborhood Districts

Geothermal energy systems are limited in all Civic Neighborhood districts as follows:

A. Scale. Small scale geothermal energy systems are permitted. Large scale systems are permitted with a Special Use Review.

B. Type. Closed-loop geothermal energy systems that are not in any well field protection areas are permitted.

C. Height. Geothermal systems shall not exceed the maximum district height limits.

D. Setbacks and Yards. Geothermal systems are not allowed in the required front, street-side, side or rear setbacks, except that small geothermal heating and cooling units like heat pumps can project into the setbacks per Section 9.0900 Projections.

4.1254 Micro-Hydro Energy Standards for Civic Neighborhood Districts

Micro-hydro energy systems are limited in all Civic Neighborhood districts as follows:

A. Scale. Small scale micro-hydro energy systems are permitted.

B. Type. In-pipe micro-hydro energy systems such as systems within water, stormwater or wastewater pipe are permitted.

C. Height. Generally the district height limits apply. However, in-pipe systems may exceed the district height limit as allowed for mechanical equipment. If supplemental equipment structures accompany the in-pipe systems, then the district height limit would apply.

D. Setbacks and Yards. Micro-hydro energy systems contained within piping are allowed and pipe can run within the required setbacks. However, if supplemental equipment structures accompany the in-pipe systems, then the district setback limits apply.

City of Gresham Development Code (10/16)
[4.12]-26

4.1301 Purpose

SECTION 4.1300

GRESHAM BUTTE PLAN DISTRICT

General

Development Standards

4.1310 Types of Development Allowed and Setback Minimum

4.1311 Density and Average Lot Sizes

4.1312 Site Development Requirements

General

4.1301 Purpose

The Gresham Butte Plan District is an overlay district providing special regulations covering the Gresham Butte area of the city. The boundaries of the Gresham Butte Plan District are shown on the Gresham Butte Overlay Map in Appendix 41 of Volume 1, Gresham Community Development Plan. Contained in this section are special requirements for development within this area.

Special requirements for this area are provided to preserve the natural beauty of Gresham Butte. In addition, the requirements are needed to provide for the unique development conditions experienced on Gresham Butte including special needs in the areas of storm water management, fire protection and access management.

The uses permitted and standards applied match those of the Low-Density Residential-5 District and the Hillside Physical Constraint District unless modified by this section.

Development Standards

4.1310 Type of Development Allowed and Setback Minimum

The permitted uses of Table 4.0120 under LDR-5 apply.

The LDR-5 development types are allowed except the Gresham Butte Plan District specifically prohibits:

1. Duplexes

2. Zero Lot Line Dwellings

The LDR-5 setback requirements are required except that the side yard setback shall be a minimum of 10 feet to encourage side yard planting.

[4.13]-1 City of Gresham Development Code (07/13)

4.1311 Density and Average Lot Sizes

Table 4.1311(A) summarizes the density and lot size requirements which apply to the Gresham Butte Plan District.

Table 4.1311(A)

Standard Requirement

Maximum Density 1 D.U./Acre

Average Lot Size Minimum Average = 1 Acre

Calculation Method

Property Area = Gross Property Area as described by recorded legal description or existing boundary survey

Rounding of D.U. = 1/2 Acre or more will round up to the next D.U. (i.e. 1.50 Acres = 2 D.U., 1.499... = 1 D.U.)*

If separate open space area(s)** is(are) created, the area of the open space tract(s) is(are) added into the area calculation but is not counted towards the total dwelling unit count (i.e. Lot A = .5 Acres, Lot B = .3 Acres, Lot C = .5 Acres and Open Space Tract D = 1.7 Acres would result in an average lot size of 1 acre)

* Existing vacant properties under .5 acre, with adequate space get credit for one dwelling unit.

** Separate open space must be put in a tract or tracts owned and maintained by all of the property owners of the lots created with the land division. Tract deeds and maintenance agreement(s) must be approved by the City of Gresham prior to the recordation of the final plat or final subdivision.

4.1312 Site Development Requirements

The Site Development Requirements of LDR-5 shall apply unless modified by this section.

A. Development on a Lot of Record

A lot of record may be developed with a permitted use as per the Gresham Community Development Code. Development on a lot of record must be developed with dwellings protected with a fire sprinkler system consistent with Subsection (B) below.

B. Fire Suppression Systems Required

All new dwelling units constructed within the Gresham Butte District shall be built with fire suppression systems installed consistent with the Building Code and shall be inspected and approved by the Gresham Fire Marshal.

New construction within the Gresham Butte Plan District involving the addition to or remodeling (requiring building permits under the Building Code) that either adds to or modifies over 50% of the original structure floor area shall be built with a fire suppression system installed as above.

C. Access Requirements

Access to Gresham Butte shall be enhanced through upgrades to the existing SW Walters Road as described in the City of Gresham Capital Facilities Plan.

[4.13]-2

City of Gresham Development Code (07/13)

All development shall be designed to the greatest extent possible to create connectivity between streets and sidewalks and the public trail system as described in the Gresham Trails Master Plan.

D. Area-wide and Basin Specific Utility Facilities

In order to effectively manage stormwater runoff from development on Gresham Butte, new development shall participate in area-wide or basin specific stormwater management solutions where the City of Gresham best design approaches indicates an area-wide solution based on efficiency for long term maintenance and safety considerations.

This participation may also be required for other utilities given the unique topographic and open space features of Gresham Butte. Other facilities preliminarily identified, include but are not limited to sanitary sewer systems and water systems.

E. Modifications to Public Facility Standards

For SW Walters Road and in the Gresham Butte Plan District, standards of Appendix 5.000Public Facilities, Gresham Community Development Code, may be modified including right of way, width, pavement, sidewalk, and other standards with approval by the Manager.

[4.13]-3 City of Gresham Development Code (07/13)
[4.13]-4 City of Gresham Development Code (07/13)

Zoning

RR LDR-5 LDR-5 LDR-7 LDR-7 S E P OW E LL VA LLE Y RD SEELCAMINODR N E PALO M A A V E SE WENDY LN SE 10TH DR SE 4TH ST S E 2ND ST S E LA M E SA CT S E C O NDORDR SE LOVRIEN AVE N E B A K E R L N SE W E N D Y LN NE CONDOR DR S E A RR O W C REE K L N SE7THTER SE 4TH TER SE ANDERSON LN SE 3RD CT SE 8TH CT S E B A R N E S R D SE 2ND TER SE 1ST TER S E L A M E S A A V E SE BAKER CIR SE 10TH ST SE 3RD ST S E B A K E R AV E SE 1STPL SE LOVRIEN PL SE GREENWAY DR S E B A R N E S A V E S E D O G W O O D L N SE10TH TER NE B A RNES A VE S E GRE E N W A Y L N N E G R E E N W A Y D R S E C E N T U R I O N A V E S E W I L L I A M S R D SE 5TH ST S E C E N T U R I O N A V E NESCOTT D R SE 7TH ST SE 6TH ST SEWENDY A V E S E A N D E R S O N L N NE 1ST ST S E A C A C I A D R SE 5TH ST NE EL C A M I N O D R S E P A L O M A A V E SE BAKER PL SEA C A C I A LN NE WILLIAMS RD
This map is a copy of public record and is provided solely for information purposes. WFG National Title assumes no liability for variations, if any, in dimensions, area or location of the premises or the location of improvements. Customer Service Department 12909 SW 68th Parkway, Suite 350 Portland, OR 97223 (503) 603-1700 cs@wfgnationaltitle.com 0 190 380 95 Feet
SEPALOMAAVE
Subject Property Tax Lots Rural Single Family ²

Custom Maps

 Topography

 Water Features

 Aerial

 Aerial Environmental

 Community

 Transit

 Vacant Land

SE ANDERSON LN SE 4TH ST SE LOVRIEN AVE SEGREENWAYDR SE LOVRIEN PL SE WILLIAMS RD SE 5TH ST 445 460 450 455 430 475 435 405 440 410 470 415 420 385 385 485 425 470 465 480 390 475 400 465 395 480 380 470 390 470 440 420 430 410 400 460 450 This map is a copy of public record and is provided solely for information purposes. WFG National Title assumes no liability for variations, if any, in dimensions, area or location of the premises or the location of improvements. Customer Service Department 12909 SW 68th Parkway, Suite 350 Portland, OR 97223 (503) 603-1700 cs@wfgnationaltitle.com 0 60 120 30 Feet Contours Tax Lots Subject Property 5' Contours ²

Flood Plain

S E P OW E LL VA LLE Y RD SEELCAMINODR N E PALO M A A V E SE WENDY LN SE 10TH DR SE 4TH ST S E 2ND ST S E LA M E SA CT S E C O NDORDR SE LOVRIEN AVE N E B A K E R L N SE W E N D Y LN NE CONDOR DR S E A RR O W C REE K L N SE7THTER SE 4TH TER SE ANDERSON LN SE 3RD CT SE 8TH CT S E B A R N E S R D SE 2ND TER SE 1ST TER S E L A M E S A A V E SE BAKER CIR SE 10TH ST SE 3RD ST S E B A K E R AV E SE 1STPL SE LOVRIEN PL SE GREENWAY DR S E B A R N E S A V E S E D O G W O O D L N SE10TH TER NE B A RNES A VE S E GRE E N W A Y L N N E G R E E N W A Y D R S E C E N T U R I O N A V E S E W I L L I A M S R D SE 5TH ST S E C E N T U R I O N A V E NESCOTT D R SE 7TH ST SE 6TH ST SEWENDY A V E S E A N D E R S O N L N NE 1ST ST S E A C A C I A D R SE 5TH ST NE EL C A M I N O D R S E P A L O M A A V E SE BAKER PL SEA C A C I A LN NE WILLIAMS RD
This map is a copy of public record and is provided solely for information purposes. WFG National Title assumes no liability for variations, if any, in dimensions, area or location of the premises or the location of improvements. Customer Service Department 12909 SW 68th Parkway, Suite 350 Portland, OR 97223 (503) 603-1700 cs@wfgnationaltitle.com 0 190 380 95 Feet
SEPALOMAAVE
Tax Lots
Streams Flood Plain Wetlands Rivers ²
Subject Property
SE ANDERSON LN SE 4TH ST SE LOVRIEN AVE SEGREENWAYDR SE LOVRIEN PL SE WILLIAMS RD SE 5TH ST This map is a copy of public record and is provided solely for information purposes. WFG National Title assumes no liability for variations, if any, in dimensions, area or location of the premises or the location of improvements. Customer Service Department 12909 SW 68th Parkway, Suite 350 Portland, OR 97223 (503) 603-1700 cs@wfgnationaltitle.com 0 60 120 30 Feet Aerial Subject Property Tax Lots ²
SE ANDERSON LN SE 4TH ST SE LOVRIEN AVE SEGREENWAYDR SE LOVRIEN PL SE WILLIAMS RD SE 5TH ST 445 460 450 455 430 475 435 405 440 410 470 415 420 385 385 485 425 470 465 480 390 475 400 465 395 This map is a copy of public record and is provided solely for information purposes. WFG National Title assumes no liability for variations, if any, in dimensions, area or location of the premises or the location of improvements. Customer Service Department 12909 SW 68th Parkway, Suite 350 Portland, OR 97223 (503) 603-1700 cs@wfgnationaltitle.com 0 60 120 30 Feet Aerial Topo Tax Lots Subject Property 5' Contours ²
Gordon Russell Middle Powell Valley Elementary
GRESHAMHOGAN CEDAR MULT CO W SANDY RIVER AREA This map is a copy of public record and is provided solely for information purposes. WFG National Title assumes no liability for variations, if any, in dimensions, area or location of the premises or the location of improvements. Customer Service Department 12909 SW 68th Parkway, Suite 350 Portland, OR 97223 (503) 603-1700 cs@wfgnationaltitle.com 0 420 840 210 Feet Community Tax Lots Subject Property 8 9 : Fire Stations n Hospitals n Schools n { Libraries Neighborhoods Rivers Park ²
KELLY CREEK POWELL VALLEY
SE BARNES RD NE PALOMA AVE SEIRONWOOD PL SE 5TH ST SE WENDYLN S E K A N E D R SE 2ND ST SE EL CAMINO DR SE 12TH ST SE CENTUR ON AVE NE 4THST NELAMESACT NE PALOMACT S E P OW ELL VALLEY RD NE 3RD ST SE WOODLAND DR SE 4TH ST SE 2ND ST SE LAMESA CT S E I RONW O O D L N S E C O NDORDR SE 12TH WAY SE LOVRIEN AVE NE 4TH ST NE BAKER LN SE W E N D Y LN SE 10THDR ES W E N D Y A V E SEHACIENDACIR NE CONDOR DR S E A R R O W C R E E K L N PLLAURASE NE3RDST SE7TH TER SE7TH ST SE LA U R A D R SE KINGFISHER LN S E L A U RA PL SE 4TH TER SE ANDERSON LN SE 3RD CT SE 8TH CT SE 2ND TER SE 1ST TER NE 2ND ST SE BAKER CIR S E E A G L E L N NE 3RD ST ES ORT U T DALE RD SE 3RD ST SE 10TH ST SE HACIENDA CT S E B A K E R A V E SE1STPL SE LOVRIEN PL SE DIVISION DR SE 13TH CT SE GREENWAYDR N E PALO M A A EV S E B A R N E S A V E S E WILLIA SM AVE S E D O G W O O D L N SE 12TH ST S E G R E E N W A Y L N N E K A N E D R NE G R E E N W A Y D R S E C E ANTURION VE SE 10TH TER SE FOXGLOVE DR S E L A M E S A A V E SE WILLIAMS RD NESCOTTDR SE 12TH CT SE 5TH ST S E P A R O P A P L S E C E N T U R I O N A V E SE PAROPAAVE SE 7TH ST S E A C A C I A P L S E P A L O M A P L SE 6TH ST SE 10TH ST SEDIVISIONDR SE HACIENDA LN S E 11TH W AY SE 12TH ST SE 13TH TER NE BA R NES AV E SE A N D E R S O N L N SE WEN D Y AVE SE 11TH ST NE 1ST ST S E WDLO O ODS LOOP SE 11TH ST SE1STST NE 2ND CT NE PAROPA W AY S E A C A C I A D R SE 5TH ST SE GLACIER LN S E P A L O M A A V E N E OLVERA TC SE BAKER PL S E W O O DLANDWAY SE ACACIA LN NE WILLIAMS RD S E P A R O P A C T S E OLVERA PL SE 12TH ST SE O L V E R A AVE N E E L C A M I N O D R N E L O V R I E N A V E SE13TH ST SEPALOMAAVE Arrow Creek Conservation Easement East Gresham Park Kane Road Park Kelly Creek Headwaters Natural Area Kelly Creek Headwaters Natural Area Kelly Creek Headwaters Natural Area Kelly Creek Headwaters Natural Area Kelly Creek Headwaters Natural Area Kelly Creek Headwaters Natural Area Kelly Creek Headwaters Natural Area Kelly Creek Headwaters Natural Area This map is a copy of public record and is provided solely for information purposes. WFG National Title assumes no liability for variations, if any, in dimensions, area or location of the premises or the location of improvements. Customer Service Department 12909 SW 68th Parkway, Suite 350 Portland, OR 97223 (503) 603-1700 cs@wfgnationaltitle.com 0 320 640 160 Feet Transit Tax Lots Subject Property X Bus Stops X Light Rail Stops Æ Park & Ride n £ Transit Centers Bike Routes Bus Lines Light Rail OHSU Tram Park ²
S E P OW E LL VA LLE Y RD SEELCAMINODR N E PALO M A A V E SE WENDY LN SE 10TH DR SE 4TH ST S E 2ND ST S E LA M E SA CT S E C O NDORDR SE LOVRIEN AVE N E B A K E R L N SE W E N D Y LN NE CONDOR DR S E A RR O W C REE K L N SE7THTER SE 4TH TER SE ANDERSON LN SE 3RD CT SE 8TH CT S E B A R N E S R D SE 2ND TER SE 1ST TER S E L A M E S A A V E SE BAKER CIR SE 10TH ST SE 3RD ST S E B A K E R AV E SE 1STPL SE LOVRIEN PL SE GREENWAY DR S E B A R N E S A V E S E D O G W O O D L N SE10TH TER NE B A RNES A VE S E GREE N W A Y L N N E G R E E N W A Y D R S E C E N T U R I O N A V E S E W I L L I A M S R D SE 5TH ST S E C E N T U R I O N A V E NESCOTT D R SE 7TH ST SE 6TH ST SEWENDY A V E S E A N D E R S O N L N NE 1ST ST S E A C A C I A D R SE 5TH ST NE EL C A M I N O D R S E P A L O M A A V E SE BAKER PL SEA C A C I A LN NE WILLIAMS RD SEPALOMAAVE Arrow Creek Conservation Easement East Gresham Park Kelly Creek Headwaters Natural Area Kelly Creek Headwaters Natural Area Kelly Creek Headwaters Natural Area Kelly Creek Headwaters Natural Area Kelly Creek Headwaters Natural Area Kelly Creek Headwaters Natural Area This map is a copy of public record and is provided solely for information purposes. WFG National Title assumes no liability for variations, if any, in dimensions, area or location of the premises or the location of improvements. Customer Service Department 12909 SW 68th Parkway, Suite 350 Portland, OR 97223 (503) 603-1700 cs@wfgnationaltitle.com 0 190 380 95 Feet Vacant Tax Lots Subject Property Vacant Lots Park ²

Turn static files into dynamic content formats.

Create a flipbook
Issuu converts static files into: digital portfolios, online yearbooks, online catalogs, digital photo albums and more. Sign up and create your flipbook.
1S3E12CA Lots 1300 & 1400 Gresham, OR 97080 by mwidman-wfgnationaltitle - Issuu