Developer Packet - 10161 SE 172nd Avenue, Happy Valley, OR 97086

Page 1

10161 SE 172ND AVENUE HAPPY VALLEY, OR 97086 DEVELOPER PACKET Compliments of WFG National Title Insurance Company Customer Service Department
TABLE OF
Property Details
Utility As-Builts (Water & Sewer)
Zoning Information
Custom Maps
Community Information -Demographics -Traffic Counts CONTENTS The information contained is provided by WFG’s Customer Service Department to our customers, and while deemed reliable, is not guaranteed.

DETAILS

The information contained is provided by WFG’s Customer Service Department to our customers, and while deemed reliable, is not guaranteed.

PROPERTY • Property Information • Assessors Tax Map • Vesting Deed

PropertyDetailReport

Owner:KouypouTiao Site:10161SE172ndAveHappyValleyOR97086 Mail:10161SE172ndAveHappyValleyOR97086

LocationandSiteInformation

County: Clackamas LotSqFt: 38,768

LegalDescription: Section30Township1SRange3E QuarterCDTAXLOT01200|Y|185,979 LotAcres: 089 APN: 00137373 LandUse: 101 Residentiallandimproved TaxLot: 13E30CD01200 LandUseSTD: SingleFamilyResidence TwnRngSec: 01S/03E/30/SW CountyBldgUse: RSFR-SingleFamily Neighborhood: HappyValley #Dwellings: Subdivision: MapPage/Grid: 658-F2 LegalLot/Block: 1200 Zoning: HappyValleyMCC CensusTract/Block: 022208/1035 Watershed: LowerClackamasRiver ElementarySchool: PLEASANTVALLEYELEMENTARYSCH OOL HighSchool: CENTENNIALHIGHSCHOOL MiddleSchool: CENTENNIALMIDDLESCHOOL SchoolDistrict: Centennial

PropertyCharacteristics

TotalLivingArea: 1,346 Bedrooms: 4 YearBuilt/Eff: 1952 FirstFloorSqFt: BathroomsTotal: 1 Heating: ForcedAirOil SecondFloorSqFt: BathroomsFull/Half: 1/0 Cooling: BasementFin/Unfin: Stories: 1 Fireplace: AtticFin/Unfin: Foundation: Concrete Pool: GarageSqFt: RoofMaterial: Composition Kitchen:

AssessmentandTaxInformation

MarketTotal: $362,00700 PropertyTax: $3,22242 MarketLand: $270,29700 Exemption: MarketStructure: $91,71000 MarketImproved%: 2500% AsssessmentYear: 2021 LevyCode: 302027 AssessedTotal: $198,990.00 MillRate: 16.1939

SaleandLoanInformation

SaleDate: 08/22/2007 Lender: M&TBK SaleAmount: $330,000.00 LoanAmount: $313,500.00 Document#: 2007-072854 LoanType: Conventional DeedType: Deed Price/SqFt: $24517 TitleCo: FIDELITYNATIONALTITLECO SellerName: WOODCAROLJ

PreparedBy:WFGNationalTitleCustomerServiceDepartment 12909SW68thPkwy,Suite350,Portland,OR97223 P:5036031700|3608915474E:cs@wfgnationaltitlecom|cccs@wfgtitlecom

SentryDynamics,Inc anditscustomersmakenorepresentation,warrantiesorconditions,expressorimplied, astotheaccuracyorcompletenessofinformationcontainedinthisreport

AccountSummary 11/30/2022
Information
Property
Account Number00137373 Property Address10161 SE 172ND AVE , HAPPY VALLEY, OR 97086 General
Rate Description
Rate
Characteristics
Built
property ratio
Related Properties
Related Properties Found Parties Role Percent Name Address
100
Service Co 100
Company 100
Property Values Value Type
Year
Year
Alternate Property # 13E30CD01200 Property Description Section 30 Township 1S Range 3E Quarter CD TAX LOT 01200 Property Category Land &/or Buildings Status Active, Locally Assessed Tax Code Area 302-027 Remarks Tax
Rate Total
15.7323 Property
Neighborhood 11081: Happy Valley 100, 101 Land Class Category 101: Residential land improved Building Class Category 13: Single family res, class 3 Year
1952 Acreage 0.89 Change
1XX
No
Taxpayer
TIAO KOUYPOU C 10161 SE 172ND AVE, HAPPY VALLEY, OR 97086 Tax
WELLS FARGO REAL ESTATE TAX SERVICE LLC 1 HOME CAMPUS MAC X2502-011, DES MOINES, IA 50328 Owner 100 TIAO KOUYPOU C 10161 SE 172ND AVE, HAPPY VALLEY, OR 97086 Owner 100 SAEPHAN MOUANG KHAE 18032 SE MADISON WAY, PORTLAND, OR 97233 Mortgage
WELLS FARGO REAL ESTATE TAX SERVICE 1 HOME CAMPUS MAC X2502-011, DES MOINES, IA 50328
Tax
Tax Year Tax Year Tax Year Tax

AVR Total

$204,959 $198,990 $193,195 $187,568 $182,105 Exempt

TVR Total $204,959 $198,990 $193,195 $187,568 $182,105

Real Mkt Land $330,107 $270,297 $248,443 $248,443 $243,842

Real Mkt Bldg $111,580 $91,710 $85,900 $86,190 $83,290

Real Mkt Total $441,687 $362,007 $334,343 $334,633 $327,132

M5 Mkt Land

$330,107 $270,297 $248,443 $248,443 $243,842

M5 Mkt Bldg $111,580 $91,710 $85,900 $86,190 $83,290 M5 SAV

SAVL (MAV Use Portion)

MAV (Market Portion) $204,959 $198,990 $193,195 $187,568 $182,105 Mkt Exception AV

05/04/2020 05/04/2020 11:20:00

Annexation Completed For Property

CREATE HAPPY VALLEY UR, ORD 544-added to annexation by batch process 83,454. by DEENAMEH

03/07/2017 03/07/2017 11:23:00 Seg/Merge Completed Parent in Seg/Merge SM170190, Effective: 01/02/2016 by DROME

03/07/2017 03/07/2017 11:20:00 Seg/Merge Initiated

01/21/2015 01/21/2015 09:43:00 Annexation Completed For Property

SEG/MERGE BEGUN ON SM170190 MAP CHNG FROM QUARTER SEC C TO CD DUE TO CART REMAP, EFF 2017-18 by DROME

ANNEX CITY OF HAPPY VALLEY DELAYED ORD 420-added to annexation by batch process 37,040. by DEENAMEH

08/22/2007 08/24/2007 13:54:00 Taxpayer Changed Property Transfer Filing No.: 165762 08/22/2007 by ROMANSIE

08/22/2007 08/24/2007 13:54:00 Recording Processed

Property Transfer Filing No.: 165762, Personal Representatives Deed, Recording No.: 2007-072854 08/22/2007 by ROMANSIE

04/12/2004 04/13/2004 16:35:00 Taxpayer Changed Property Transfer Filing No.: 94337 04/12/2004 by CINDYSIM

04/12/2004 04/13/2004 16:35:00 Recording Processed

Property Transfer Filing No.: 94337, Letter 04/12/2004 by CINDYSIM

07/01/1999 07/01/1999 12:00:00 Ownership at Conversion Conversion deed: 686-377 , , $ 0

Tax Balance

No Charges are currently due. If you believe this is incorrect, please contact the Assessor's Office. Installments Payable/Paid for Tax Year(Enter 4-digit Year, then Click-Here): 2022

2022 2021 2020 2019 2018
Active Exemptions No Exemptions Found Events Effective Date Entry DateTime Type
Exception
Remarks

11/09/2022 00:00:00 5230987 $3,224.48 $3,224.48 $3,127.75 $0.00 11/08/2021 00:00:00 5051141 $3,222.42 $3,222.42 $3,125.75 $0.00 11/13/2020 00:00:00 4926844 $3,068.04 $3,068.04 $2,976.00 $0.00

11/06/2019 00:00:00 4664205 $2,998.35 $2,998.35 $2,908.40 $0.00 11/06/2018 00:00:00 4463151 $2,873.97 $2,873.97 $2,787.75 $0.00 11/07/2017 00:00:00 4273782 $2,783.31 $2,783.31 $2,699.81 $0.00

Receipts
Receipt No. Amount Applied to Parcel Total Amount Due Receipt Total Change
Date
Sales History Sale Date Entry Date Recording Date Recording Number Sale Amount Excise Number Deed Type Grantee(Buyer) Other Parcels 08/20/2007 08/24/2007 08/22/2007 2007072854 $330,000.00 165762 TIAO KOUYPOU C No 04/12/2004 04/13/2004 04/12/2004 $0.00 94337 WOOD CAROL J No Property Details Living Area Sq Ft Manf Struct Size Year Built Improvement Grade Stories Bedrooms Full Baths Half Baths 1346 0 X 0 1952 35 1.0 4 1 0
AerialMap ParcelID:00137373 SentryDynamics,Inc anditscustomersmakenorepresentations, warrantiesorconditions,expressorimplied,astotheaccuracyor completenessofinformationcontainedinthisreport

UTILITY

AS-BUILTS

Water As-Built Maps Sunrise Water Authority

Sewer As-Built Maps Water Environment Services

*NotefromWES-an8inchdiameterpublicmainlineislocatedinSE172ndAve. ThispropertyisnotwithinWESserviceareaandwouldneedtoannexinto ClackamasCountyServiceDistrictNo.1beforesanitarysewerservicecouldbe provided.Inaddition,thepropertyissubjecttoareimbursementdistrictforthe costofconstructingthelocalsewer.TheCityofHappyValleycanprovide additionalinformationonthereimbursementdistrict.

The information contained is provided by WFG’s Customer Service Department to our customers, and while deemed reliable, is not guaranteed.

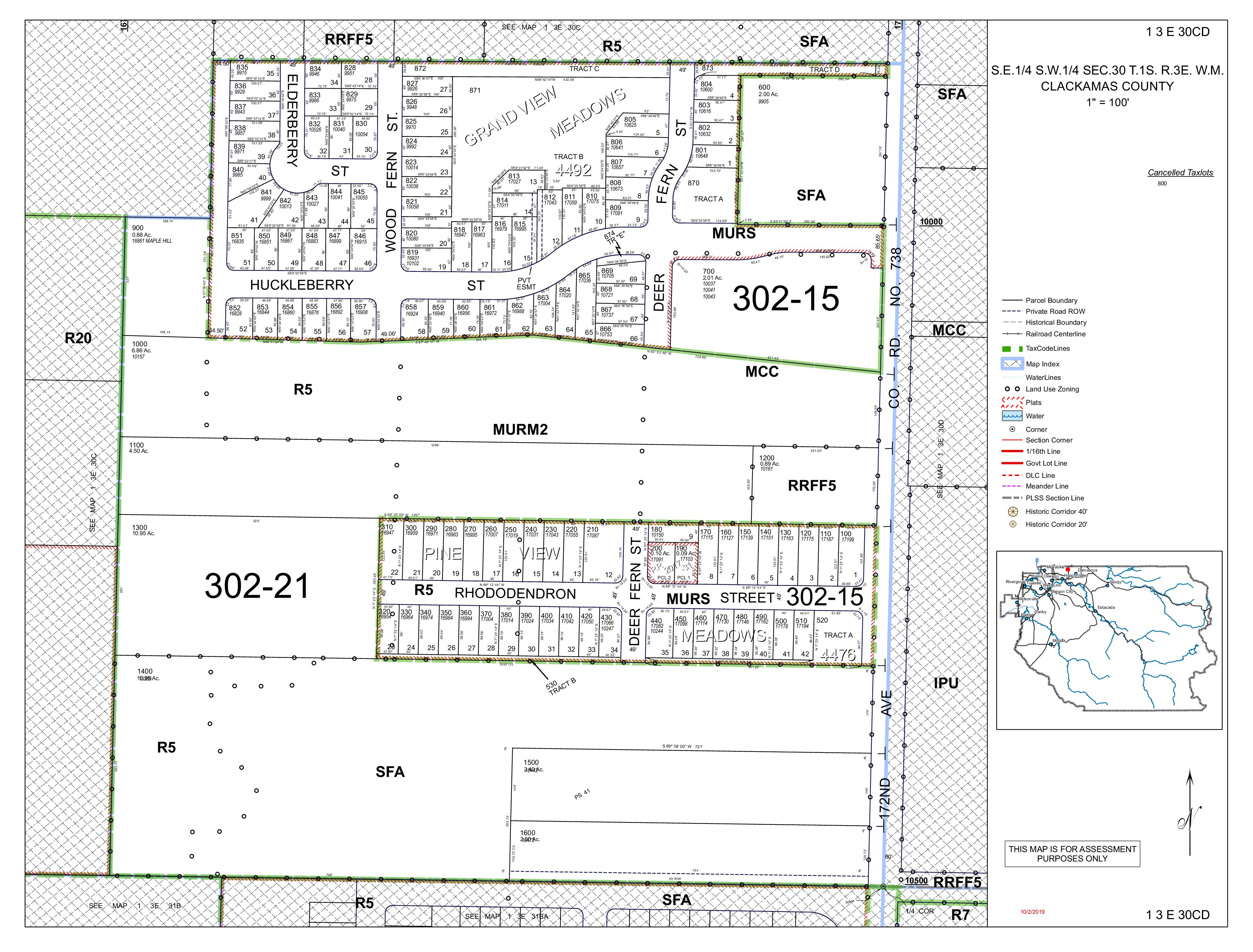
Detailed Zoning Information MCC (Mixed Commercial Center)
Zoning Map
Community Jurisdiction DETAILS
information
customers,
reliable,
guaranteed.
ZONING •
The
contained is provided by WFG’s Customer Service Department to our
and while deemed
is not
RRFF5 RRFF5 FF10 RRFF5 RRFF5 RRFF5 EC EFU IPU IPU MCC MCC MURM2 MURM2 MURM2 MURS MURS MURS R10 R20 R5 R5 R5 R5 R5 R7 R7 R7 RRFF5 RRFF5 RRFF5 RRFF5 SFA SFA SFA SFA SFA S E M A P L E H I L L L N S E 1 6 2 N D A V E S E MA P LE HILL LN S E HE MRICH RD S E W O O D F E R N S T S E D E E R F E R N S T S E 1 6 2 N D A V E S E 1 7 2 N D A V E S E S T A R L I L Y R D SE TRA NQUIL ST S E D E E R FERN S T S E R E D T A I L R D SE LAUREN TER S E M O R N I N G D E W R D S E B L A C K T A I L R D SE HUCKLEBERRY ST S E E L D E RBERRY S T SE RHODODENDRON ST SE WOODED HEIGHTS DR Th s map is a copy of pub ic record and s provided sole y for nformation purposes W FG Nat ona Title assumes no liab lity for variations, f any, n dimensions, area or ocation of the premises or the locat on of mprovements Customer Service Department 12909 SW 68th Parkway, Suite 350 Portland, OR 97223 (503) 603 1700 cs@wfgnationaltitle.com 0 190 380 95 Fee t Zoning Subject Propert y Tax Lots Industrial Mixed Use Residential Rural Single Family ²

10161 SE 172ND HAPPY VALLEY, 97086

Clackamas County T1S R3E S30

Latitude: 45.448871, L

TAXLOT INFORMATIO

Tax Lot ID: R Number: Tax Lot Size: Building Area Market Total Value Land Use Year Built Sale Date Sale Price Market Land Value 330107 00000000

Market Building Value State General Property Class County Tax Code Site Address

POLITICAL BOUNDAR

Jurisdiction

Neighborhood Happy valley Voting Precinct 102.00000000

Metro Council District 1

Metro Councilor Shirley Craddick

Leaet (http://leaetjs com) | Tiles: © Metro RLIS

Metro Councilor Email shirley.craddick@oregonmetro.gov

US Congressional District 3

Oregon House District 51

+20 m 50 ft

LAND USE AND PLANNING

Local Zoning MCC

Generalized Zoning MUR

Classied Zoning MUR5

Watershed Lower Clackamas River

Sub Watershed Rock Creek Clackamas River Basin Willamette

Sub Basin Clackamas

Flood Plain Outside

Wetland Not in a wetland

Urban Growth Boundary Inside

Urban/Rural Reserve Reserve Name

USGS Quad Name Damascus

SERVICE DISTRICTS

Garbage Hauler Hoodview Disposal and Recycling, Inc.

Commercial Hauler Hoodview Disposal and Recycling, Inc

Dropbox Provider Hoodview Disposal and Recycling, Inc

School District CENTENNIAL

School District Number 28J

Oregon Dept. of Ed. Dist. ID 2185

Natl. Center for Ed. Statistics Dist. ID 4102800

Water District Park District

Sewer District

Fire District Clackamas Fire District #1

Fire Management Zone 5803

CENSUS INFORMATION

Census Tract 222 08000000

Census Block Group 1

Oregon Senate District 26

Data Resource Center

600 Northeast Grand Avenue, Portland, OR 97232 503 797 1742

drc@oregonmetro.gov © Oregon Metro www.oregonmetro.gov/rlis

This Web site is offered as a public service, integrating various government records into a region wide mapping system The property assessment records are a multi county integration of Clackamas, Multnomah and Washington County records MetroMap blends each county's records into a common database on a quarterly basis Therefore, to view each county's ofcial records, go to their respective web sites or ofces The other MetroMap data are derived from city, county, state, federal and Metro sources The metadata (data about the data) are included on this site, including the sources to be consulted for verication of the information contained herein. It describes some cases where Metro blends city and county records by generalizing the disparities Metro assumes no legal responsibility for the compilation of multi source government information displayed by Metro Map Users of this information are cautioned to verify all information

Census Block Population (2010) 3506
Topography • Water Features • Aerial • Aerial Environmental • Community • Transit • Vacant Land MAPS The information contained is provided by WFG’s Customer Service Department to our customers, and while deemed reliable, is not guaranteed.
CUSTOM •
S E 1 7 2 N D A V E S E D E E R F E R N S T S E D E E R F E R N S T SE RHODODENDRON ST SE HUCKLEBERRY ST 4 6 5 400 390 450 430 395 460 370 4 7 5 445 435 440 455 375 470 380 465 410 385 425 415 420 405 4 8 0 370 470 380 3 9 0 460 450 430 440 4 2 0 4 1 0 400 Th s map is a copy of pub ic record and s provided sole y for nformation purposes W FG Nat ona Title assumes no liab lity for variations, f any, n dimensions, area or ocation of the premises or the locat on of mprovements Customer Service Department 12909 SW 68th Parkway, Suite 350 Portland, OR 97223 (503) 603 1700 cs@wfgnationaltitle.com 0 60 120 30 Fee t Contours Tax Lots Subject Propert y 5' Contours ²
S E M A P L E H I L L L N S E 1 6 2 N D A V E S E MA P LE HILL LN S E HE MRICH RD S E W O O D F E R N S T S E D E E R F E R N S T S E 1 6 2 N D A V E S E 1 7 2 N D A V E S E S T A R L I L Y R D SE TRA NQUIL ST S E D E E R FERN S T S E R E D T A I L R D SE LAUREN TER S E M O R N I N G D E W R D S E B L A C K T A I L R D SE HUCKLEBERRY ST S E E L D E RBERRY S T SE RHODODENDRON ST SE WOODED HEIGHTS DR Th s map is a copy of pub ic record and s provided sole y for nformation purposes W FG Nat ona Title assumes no liab lity for variations, f any, n dimensions, area or ocation of the premises or the locat on of mprovements Customer Service Department 12909 SW 68th Parkway, Suite 350 Portland, OR 97223 (503) 603 1700 cs@wfgnationaltitle.com 0 190 380 95 Fee t Flood Plain Tax Lots Subject Propert y St reams Flood Plain Wetlands Riv ers ²
S E 1 7 2 N D A V E S E D E E R F E R N S T SE RHODODENDRON ST SE HUCKLEBERRY ST Th s map is a copy of pub ic record and s provided sole y for nformation purposes W FG Nat ona Title assumes no liab lity for variations, f any, n dimensions, area or ocation of the premises or the locat on of mprovements Customer Service Department 12909 SW 68th Parkway, Suite 350 Portland, OR 97223 (503) 603 1700 cs@wfgnationaltitle.com 0 60 120 30 Fee t Aerial Subject Propert y Tax Lots ²
S E 1 7 2 N D A V E S E D E E R F E R N S T S E D E E R F E R N S T SE RHODODENDRON ST SE HUCKLEBERRY ST 4 6 5 400 390 450 430 395 460 370 4 7 5 445 435 440 455 375 470 380 465 410 385 425 415 420 405 Th s map is a copy of pub ic record and s provided sole y for nformation purposes W FG Nat ona Title assumes no liab lity for variations, f any, n dimensions, area or ocation of the premises or the locat on of mprovements Customer Service Department 12909 SW 68th Parkway, Suite 350 Portland, OR 97223 (503) 603 1700 cs@wfgnationaltitle.com 0 60 120 30 Fee t Aerial Topo Tax Lots Subject Propert y 5' Contours ²
Ele
Scouters Mountain
mentary
VALLEY
PLEASANT VALLEY Th s map is a copy of pub ic record and s provided sole y for nformation purposes W FG Nat ona Title assumes no liab lity for variations, f any, n dimensions, area or ocation of the premises or the locat on of mprovements Customer Service Department 12909 SW 68th Parkway, Suite 350 Portland, OR 97223 (503) 603 1700 cs@wfgnationaltitle.com 0 420 840 210 Fee t Community Tax Lots Subj ect Prop erty 8 9 : s Fire Stations n o Hosp ital s n School s n Libraries Neighborhood s Rivers Park ²
DAM ASCUS DAM ASCUS ROCK CREEK ROCK CREEK ROCK CREEK ROCK CREEK HAPPY
HAPPY VALLEY HAPPY VALLEY
S E M A P L E H I L L L N S E 1 6 2 N D A V E SE TILLSTROMRD SE HEMRICH RD S E W O O D F E R N S T SE FOSTER RD S E D E E R F E R N S T S E 1 6 2 N D A V E S E 1 7 2 N D A V E S E S T A R L I L Y R D S E TRA NQUIL ST S E DEE R F ERN S T S E R E D T A I L R D SE LAUREN TER S E M O R N I N G D E W R D S E BL A C K T A I L R D SE M APLE H LL LN S E HUCKLEBERRY ST SE VRADENBURG RD SE COYOTE WAY S E E L D E R BERRY ST SE RHODODENDRON ST S E W OODED HEIGHTS DR Upper Mitchell Creek Eas t Th s map is a copy of pub ic record and s provided sole y for nformation purposes W FG Nat ona Title assumes no liab lity for variations, f any, n dimensions, area or ocation of the premises or the locat on of mprovements Customer Service Department 12909 SW 68th Parkway, Suite 350 Portland, OR 97223 (503) 603 1700 cs@wfgnationaltitle.com 0 320 640 160 Fee t Tr ansit Tax Lots Subject Propert y X Bus Stops X Light Rail Stops Æ Park & Ride n Transit Centers Bike Routes Bus Lines Light Rail OHSU Tram Park ²
S E M A P L E H I L L L N S E 1 6 2 N D A V E S E MA P LE HILL LN S E HE MRICH RD S E W O O D F E R N S T S E D E E R F E R N S T S E 1 6 2 N D A V E S E 1 7 2 N D A V E S E S T A R L I L Y R D SE TRA NQUIL ST S E D E E R FERN S T S E R E D T A I L R D SE LAUREN TER S E M O R N I N G D E W R D S E B L A C K T A I L R D SE HUCKLEBERRY ST S E E L D E RBERRY S T SE RHODODENDRON ST SE WOODED HEIGHTS DR Th s map is a copy of pub ic record and s provided sole y for nformation purposes W FG Nat ona Title assumes no liab lity for variations, f any, n dimensions, area or ocation of the premises or the locat on of mprovements Customer Service Department 12909 SW 68th Parkway, Suite 350 Portland, OR 97223 (503) 603 1700 cs@wfgnationaltitle.com 0 190 380 95 Fee t Vacant Tax Lots Subject Propert y Vacant Lots Park ²

COMMUNITY

INFORMATION

• Demographics

Traffic Counts

The information contained is provided by WFG’s Customer Service Department to our customers, and while deemed reliable, is not guaranteed.

10161 SE 172nd Ave, Happy Valley, OR 97086

10161 SE 172nd Ave, Happy Valley, OR 97086

Sitewise Online

Pop-Facts: Population Quick Facts

Pop-Facts: Population Quick Facts

10161 SE 172nd Ave, Happy Valley, OR 97086 0 - 1 mi

Population 2027 Projection 2,042 2022 Estimate 1,939 2010 Census 1,189 2000 Census 645

Growth 2022-2027 5.31% Growth 2010-2022 63.09% Growth 2000-2010 84.27%

2022 Est. Population by Age

1,939

Age 0 to 4 123 6.32%

Age 5 to 9 137 7.08%

Age 10 to 14 149 7.66%

Age 15 to 17 90 4.66%

Age 18 to 20 79 4.08% Age 21 to 24 100 5.17% Age 25 to 34 228 11.76% Age 35 to 44 227 11.72% Age 45 to 54 283 14.61% Age 55 to 64 244 12.58% Age 65 to 74 187 9.63% Age 75 to 84 72 3.70% Age 85 and over 20 1.05%

Age 16 and over 1,501 77.41% Age 18 and over 1,440 74.28% Age 21 and over 1,361 70.21% Age 65 and over 279 14.38%

2022 Est. Median Age 37.80

2022 Est. Average Age 38.02

1,939 White Alone 1,183 61.01% Black or African American Alone 39 2.00% American Indian and Alaska Native Alone 8 0.44% Asian Alone 579 29.85%

Native Hawaiian and Other Pacific Islander Alone 2 0.10%

Some Other Race Alone 18 0.92% Two or More Races 110 5.68%

92 4.76%

95.24%

Single-Classification
2022 Est. Population by
Race
Est. Population by Ethnicity (Hispanic or Latino)
Hispanic or Latino
Not Hispanic or Latino
Est. Population by Sex
2022
1,939
1,847
2022
1,939 Male 962 49.62% Female 977 50.38% Copyright © Claritas, LLC 2022. All rights reserved. 10161 SE 172nd Ave, Happy Valley, OR 97086 Sitewise Online Pop-Facts: Population Quick Facts Pop-Facts: Population Quick Facts 10161 SE 172nd Ave, Happy Valley, OR 97086 0 - 1 mi

631 Income Less than $15,000 23 3.62% Income $15,000 to $24,999 19 2.95% Income $25,000 to $34,999 17 2.76% Income $35,000 to $49,999 22 3.47% Income $50,000 to $74,999 77 12.27% Income $75,000 to $99,999 88 13.95% Income $100,000 to $124,999 55 8.70% Income $125,000 to $149,999 53 8.34% Income $150,000 to $199,999 96 15.24% Income $200,000 to $249,999 56 8.90% Income $250,000 to $499,999 80 12.72% Income $500,000 or more 45 7.06%

SE
Household
Facts
Household Quick Facts
2022 Est. Households by Household Income
2022 Est. Average Household Income $ 174,556 2022 Est. Median Household Income $ 131,761 2022 Median HH Inc. by Single-Classification Race White Alone $ 123,075 Black or African American Alone $ 221,146 American Indian and Alaska Native Alone $ 67,322 Asian Alone $ 154,318 Native Hawaiian and Other Pacific Islander Alone $ 146,046 Some Other Race Alone $ 84,064 Two or More Races $ 149,531 Hispanic or Latino $ 225,289 Not Hispanic or Latino $ 127,521 2022 Est. Households by Household Type 631 Family Households 537
Nonfamily Households
2022 Est. Group Quarters Population 4
10161
172nd Ave, Happy Valley, OR 97086 Sitewise Online Pop-Facts:
Quick
Pop-Facts:
10161 SE 172nd Ave, Happy Valley, OR 97086 0 - 1 mi Households 2027 Projection 668 2022 Estimate 631 2010 Census 384 2000 Census 224 Growth 2022-2027 5.82% Growth 2010-2022 64.25% Growth 2000-2010 71.78%
85.07%
94 14.93%

10161 SE 172nd Ave, Happy Valley, OR 97086

Sitewise Online

Pop-Facts: Household Quick Facts

Pop-Facts: Household Quick Facts

10161 SE 172nd Ave, Happy Valley, OR 97086 0 - 1 mi

2022 Est. Households by Household Size 631

1-person 69 10.86%

2-person 182 28.89%

3-person 123 19.45% 4-person 142 22.48% 5-person 70 11.14% 6-person 27 4.32% 7-or-more-person 18 2.87%

2022 Est. Average Household Size 3.07

10161 SE 172nd Ave, Happy Valley, OR 97086

Sitewise Online

Pop-Facts: Household Quick Facts

Pop-Facts: Household Quick Facts

10161 SE 172nd Ave, Happy Valley, OR 97086 0 - 1 mi

2022 Est. HHs by Type by Presence of Own Children 537

Married-Couple Family, own children 256 47.74%

Married-Couple Family, no own children 214 39.81%

Male Householder, own children 17 3.16%

Male Householder, no own children 12 2.15%

Female Householder, own children 18 3.39%

Female Householder, no own children 20 3.74%

Copyright © Claritas, LLC 2022. All rights reserved.

SE 172nd Ave, Happy
OR
Sitewise Online Pop-Facts: Demographic Snapshot (Part
Demographic Snapshot (Part 1) 10161 SE
0 -
mi Population 2027 Projection
2022 Estimate
2010 Census
2000 Census
Growth
Growth
2022 Est. Population by Single-Classification Race 1,939
Alone
or African American Alone
and Alaska Native Alone
Races
2022 Est. Population Hispanic or Latino by Origin
Hispanic or Latino
Hispanic or Latino
Hispanic or Latino by Origin
Rican
All Other Hispanic or Latino
2022 Est. Hisp. or Latino Pop by Single-Classification Race 92
Alone
or African American Alone
Indian and Alaska Native Alone
Alone
Hawaiian and Other Pacific Islander Alone
Race Alone
or More Races
10161
Valley,
97086
1) Pop-Facts:
172nd Ave, Happy Valley, OR 97086
1
2,042
1,939
1,189
645 Growth 2022-2027 5.31%
2010-2022 63.09%
2000-2010 84.27%
White
1,183 61.01% Black
39 2.00% American Indian
8 0.44% Asian Alone 579 29.85% Native Hawaiian and Other Pacific Islander Alone 2 0.10% Some Other Race Alone 18 0.92% Two or More
110 5.68%
1,939 Not
1,847 95.24%
92 4.76%
92 Mexican 65 70.14% Puerto
3 3.28% Cuban 2 1.79%
23 24.79%
White
50 54.29% Black
0 0.03% American
0 0.13% Asian
2 1.73% Native
0 0.04% Some Other
16 17.56% Two
24 26.23%

10161 SE 172nd Ave, Happy Valley, OR 97086

Sitewise Online

Pop-Facts: Demographic Snapshot (Part 1)

Pop-Facts: Demographic Snapshot (Part 1)

10161 SE 172nd Ave, Happy Valley, OR 97086 0 - 1 mi

2022 Est. Pop by Race, Asian Alone, by Category 579

Chinese, except Taiwanese 96 16.52%

Filipino 24 4.18% Japanese 10 1.78% Asian Indian 24 4.08% Korean 131 22.62%

Vietnamese 130 22.45% Cambodian 13 2.24%

Hmong 0 0.00% Laotian 2 0.40% Thai 34 5.95%

All other Asian Races, including 2 or more 115 19.78%

2022 Est. Population by Ancestry

1,939

Arab 0 0.00%

Czech 2 0.08% Danish 8 0.39% Dutch 21 1.07% English 150 7.73%

French (except Basque) 30 1.53%

French Canadian 5 0.26%

German 261 13.44% Greek 0 0.01% Hungarian 4 0.21% Irish 107 5.53%

Italian 74 3.82%

Lithuanian 4 0.19%

Norwegian 68 3.52%

Polish 25 1.29%

Portuguese 8 0.44% Russian 31 1.61% Scottish 52 2.70% Scotch-Irish 15 0.77%

Slovak 0 0.00%

Subsaharan African 2 0.11% Swedish 45 2.31% Swiss 9 0.48% Ukrainian 14 0.74%

United States or American 80 4.12%

Welsh 21 1.09%

West Indian (except Hisp. groups) 1 0.03%

Other Ancestries 597 30.78%

Ancestry Unclassified 305 15.73%

2022 Est. Pop Age 5+ by Language Spoken At Home 1,816

10161 SE 172nd Ave, Happy Valley, OR 97086

Sitewise Online

Pop-Facts: Demographic Snapshot (Part 1)

Pop-Facts: Demographic Snapshot (Part 1)

10161 SE 172nd Ave, Happy Valley, OR 97086 0 - 1 mi

Speak only English 1,413 77.79% Speak Asian or Pacific Island Language 232 12.79%

Speak IndoEuropean Language 113 6.25% Speak Spanish 54 3.00% Speak Other Language 3 0.17%

Pop-Facts:

2022 Est. Population by Sex

1,939

Male 962 49.62%

Female 977 50.38%

2022 Est. Population by Age

1,939

Age 0 to 4 123 6.32%

Age 5 to 9 137 7.08%

Age 10 to 14 149 7.66%

Age 15 to 17 90 4.66%

Age 18 to 20 79 4.08%

Age 21 to 24 100 5.17%

Age 25 to 34 228 11.76%

Age 35 to 44 227 11.72%

Age 45 to 54 283 14.61%

Age 55 to 64 244 12.58% Age 65 to 74 187 9.63% Age 75 to 84 72 3.70% Age 85 and over 20 1.05%

Age 16 and over 1,501 77.41% Age 18 and over 1,440 74.28% Age 21 and over 1,361 70.21% Age 65 and over 279 14.38%

2022 Est. Median Age 37.80

2022 Est. Average Age 38.02
10161 SE 172nd Ave, Happy Valley, OR 97086 Sitewise Online
Pop-Facts: Demographic Snapshot (Part 1)
Demographic Snapshot (Part 1)
10161 SE 172nd Ave, Happy Valley, OR 97086 0 - 1 mi

10161 SE 172nd Ave, Happy Valley, OR 97086

Sitewise Online

Pop-Facts: Demographic Snapshot (Part 1)

Pop-Facts: Demographic Snapshot (Part 1)

10161 SE 172nd Ave, Happy Valley, OR 97086 0 - 1 mi

2022 Est. Male Population by Age 962

Age 0 to 4 60 6.26%

Age 5 to 9 70 7.31%

Age 10 to 14 72 7.46%

Age 15 to 17 45 4.73%

Age 18 to 20 40 4.17%

Age 21 to 24 49 5.13%

Age 25 to 34 117 12.18%

Age 35 to 44 106 11.04%

Age 45 to 54 140 14.52%

Age 55 to 64 125 13.02%

Age 65 to 74 92 9.60%

Age 75 to 84 34 3.53%

Age 85 and over 10 1.05%

2022 Est. Median Age, Male 37.50

2022 Est. Average Age, Male 37.93

2022 Est. Female Population by Age 977

Age 0 to 4 62 6.38%

Age 5 to 9 67 6.85%

Age 10 to 14 77 7.86%

Age 15 to 17 45 4.58%

Age 18 to 20 39 3.98%

Age 21 to 24 51 5.20%

Age 25 to 34 111 11.35% Age 35 to 44 121 12.39% Age 45 to 54 143 14.69%

Age 55 to 64 119 12.14%

Age 65 to 74 94 9.66% Age 75 to 84 38 3.87%

Age 85 and over 10 1.06%

2022 Est. Median Age, Female 38.06

2022 Est. Average Age, Female 38.10

10161 SE 172nd Ave, Happy Valley, OR 97086

Sitewise Online

Pop-Facts: Demographic Snapshot (Part 1)

Pop-Facts: Demographic Snapshot (Part 1)

10161 SE 172nd Ave, Happy Valley, OR 97086 0 - 1 mi

2022 Est. Pop Age 15+ by Marital Status 1,531

Total, Never Married 401 26.22% Males, Never Married 229 14.94% Females, Never Married 173 11.28%

Married, Spouse present 912 59.56% Married, Spouse absent 51 3.32% Widowed 24 1.58% Males, Widowed 5 0.31% Females, Widowed 19 1.27%

Divorced 143 9.33% Males, Divorced 55 3.58% Females, Divorced 88 5.75%

2022 Est. Pop Age 25+ by Edu. Attainment 1,261

Less than 9th grade 16 1.25%

Some High School, no diploma 39 3.09% High School Graduate (or GED) 260 20.60%

Some College, no degree 231 18.33% Associate Degree 140 11.13% Bachelor's Degree 354 28.08% Master's Degree 155 12.32% Professional School Degree 28 2.21% Doctorate Degree 38 2.99%

2022 Est. Pop. Age 25+ by Edu. Attain., Hisp./Lat. 45

No High School Diploma 3 6.54% High School Graduate 4 8.09% Some College or Associate's Degree 23 52.00% Bachelor's Degree or Higher 15 33.36%

Copyright © Claritas, LLC 2022. All rights reserved.

10161 SE 172nd Ave, Happy Valley, OR 97086 Sitewise Online Pop-Facts: Demographic Snapshot (Part 2) Pop-Facts: Demographic Snapshot (Part 2) 10161 SE 172nd Ave, Happy Valley, OR 97086 0 - 1 mi Households 2027 Projection 668 2022 Estimate
2010 Census
2000 Census 224 Growth 2022-2027
Growth 2010-2022
Growth 2000-2010
2022 Est. Households by Household Type 631 Family Households 537
Nonfamily Households
2022 Est. Group Quarters Population 4 2022 HHs by Ethnicity: Hispanic/Latino 24
2022 Est. Households by HH Income
Income <
2022 Est. Average Household Income $ 174,556 2022 Est. Median Household Income $ 131,761 2022 Median HH Income by Single-Class. Race or Ethn. White Alone $ 123,075 Black or African American Alone $ 221,146 American Indian and Alaska Native Alone $ 67,322 Asian Alone $ 154,318 Native Hawaiian and Other Pacific Islander Alone $ 146,046 Some Other Race Alone $ 84,064 Two or More Races $ 149,531
631
384
5.82%
64.25%
71.78%
85.07%
94 14.93%
3.82%
631
$15,000 23 3.62% Income $15,000 to $24,999 19 2.95% Income $25,000 to $34,999 17 2.76% Income $35,000 to $49,999 22 3.47% Income $50,000 to $74,999 77 12.27% Income $75,000 to $99,999 88 13.95% Income $100,000 to $124,999 55 8.70% Income $125,000 to $149,999 53 8.34% Income $150,000 to $199,999 96 15.24% Income $200,000 to $249,999 56 8.90% Income $250,000 to $499,999 80 12.72% Income $500,000+ 45 7.06%

10161 SE 172nd Ave, Happy Valley, OR 97086 Sitewise Online

Pop-Facts: Demographic Snapshot (Part 2)

Pop-Facts: Demographic Snapshot (Part 2)

10161 SE 172nd Ave, Happy Valley, OR 97086 0 - 1 mi

Hispanic or Latino $ 225,289

Not Hispanic or Latino $ 127,521

47.74%

39.81%

3.16% Male Householder, no own children 12 2.15% Female Householder, own children 18 3.39% Female Householder, no own children 20 3.74%

631 1-person 69 10.86% 2-person 182 28.89% 3-person 123 19.45% 4-person 142 22.48% 5-person 70 11.14% 6-person 27 4.32% 7-or-more-person 18 2.87%

Est. Family HH Type by Presence of Own Children
2022
537
Married-Couple Family, own children 256
Married-Couple Family, no own children 214
Est. Households by Household Size
Est. Average Household Size
2022 Est. Households by Presence of People Under 18
Households with 1 or more People under Age 18
Households with No People under Age 18
Households with 1 or more People under Age 18
Married-Couple Family
Other Family, Male Householder
Other Family, Female Householder
Nonfamily, Male Householder
Nonfamily, Female Householder
Households with No People under Age 18
Married-Couple Family
Other Family, Male Householder
Other Family, Female Householder
Nonfamily, Male Householder
Nonfamily, Female Householder
SE 172nd Ave, Happy
Online Pop-Facts: Demographic Snapshot (Part 2)
Demographic Snapshot (Part 2)
SE
Male Householder, own children 17
2022
2022
3.07
631
313 49.66%
318 50.34%
313
269 85.73%
19 6.15%
22 7.07%
3 0.90%
0 0.15%
318
202 63.46%
9 2.89%
16 4.91%
52 16.37%
39 12.39% 10161
Valley, OR 97086 Sitewise
Pop-Facts:
10161
172nd Ave, Happy Valley, OR 97086 0 - 1 mi
2022 Est. Households by Number of Vehicles 631 No Vehicles 4
1 Vehicle 95
2 Vehicles 291
3 Vehicles 137
4 Vehicles 61
5 or more Vehicles 43
2022 Est. Average Number of Vehicles 2.52 Family Households 2027 Projection 568 2022 Estimate 537 2010 Census 325 2000 Census 188 Growth 2022-2027 5.80% Growth 2010-2022 65.33% Growth 2000-2010 72.80% 2022 Est. Families by Poverty Status 537 2022 Families at or Above Poverty 524
2022 Families at or Above Poverty with Children 214 39.80% 2022 Families Below Poverty 13 2.34% 2022 Families Below Poverty with Children 7
2022 Est. Pop Age 16+ by Employment Status 1,501 In Armed Forces 0 0.00% Civilian Employed 972 64.78% Civilian Unemployed 22 1.47% Not in Labor Force 507 33.76% 2022 Est. Civ. Employed Pop 16+ by Class of Worker 973 For-Profit Private Workers 651 66.93% Non-Profit Private Workers 78
Local Government Workers 61
State Government Workers 32
Federal Government Workers 9
Self-Employed Workers 137 14.11% Unpaid Family Workers 5
10161 SE 172nd Ave, Happy Valley, OR 97086 Sitewise Online Pop-Facts: Demographic Snapshot (Part 2) Pop-Facts: Demographic Snapshot (Part 2) 10161 SE 172nd Ave, Happy Valley, OR 97086 0 - 1 mi
0.64%
15.13%
46.06%
21.64%
9.64%
6.88%
97.66%
1.32%
7.98%
6.23%
3.29%
0.97%
0.50%

Architect/Engineer 20 2.03%

Arts/Entertainment/Sports 9 0.95%

Building Grounds Maintenance 2 0.23% Business/Financial Operations 76 7.85% Community/Social Services 21 2.14%

Computer/Mathematical 63 6.43%

Construction/Extraction 58 5.93%

Education/Training/Library 51 5.22% Farming/Fishing/Forestry 0 0.00% Food Prep/Serving 25 2.56% Healthcare Practitioner/Technician 81 8.30% Healthcare Support 25 2.56% Maintenance Repair 22 2.23% Legal 5 0.53%

Life/Physical/Social Science 12 1.28% Management 153 15.71% Office/Admin. Support 92 9.41% Production 48 4.88% Protective Service 8 0.83% Sales/Related 115 11.77% Personal Care/Service 20 2.07% Transportation/Moving 69 7.11%

2022 Est. Civ. Employed Pop 16+ by Occupation
973
2022 Est. Pop 16+ by Occupation Classification 973 Blue Collar
White Collar
Service & Farm
2022 Est. Workers Age 16+ by Transp. To Work 946 Drove Alone
Car Pooled
Public Transportation
Walked
Bicycle
Means
Worked at Home
2022 Est. Workers Age 16+ by Travel Time to Work* Less than 15 minutes 92 15 to 29 Minutes 259 30 to 44 Minutes 278 45 to 59 Minutes 101 60 or more Minutes 122 10161 SE 172nd Ave, Happy Valley, OR 97086 Sitewise Online Pop-Facts: Demographic Snapshot (Part 2) Pop-Facts: Demographic Snapshot (Part 2) 10161 SE 172nd Ave, Happy Valley, OR 97086
- 1 mi
196 20.15%
697 71.60%
80 8.25%
717 75.79%
63 6.67%
49 5.23%
6 0.66%
0 0.05% Other
16 1.73%
93 9.88%
0
2022 Est. Avg. Travel Time to Work in Minutes* 36.30 2022 Est. Occupied Housing Units by Tenure 631 Owner-Occupied 555 88.01% Renter-Occupied 76 11.99% 2022 Occupied Housing Units: Avg. Length of Residence Owner-Occupied 9 Renter-Occupied 6 10161 SE 172nd Ave, Happy Valley, OR 97086 Sitewise Online Pop-Facts: Demographic Snapshot (Part 2) Pop-Facts: Demographic Snapshot (Part 2) 10161 SE 172nd Ave, Happy Valley, OR 97086 0 - 1 mi

Value Less than $20,000 0 0.00% Value $20,000 to $39,999 0 0.01%

Value $40,000 to $59,999 2 0.31% Value $60,000 to $79,999 0 0.00% Value $80,000 to $99,999 0 0.00% Value $100,000 to $149,999 0 0.01% Value $150,000 to $199,999 1 0.17% Value $200,000 to $299,999 2 0.32% Value $300,000 to $399,999 39 7.04% Value $400,000 to $499,999 69 12.50% Value $500,000 to $749,999 234 42.14% Value $750,000 to $999,999 147 26.38% Value $1,000,000 to $1,499,999 51 9.25% Value $1,500,000 to $1,999,999 10 1.81% Value $2,000,000 or

0 0.05%

2022 Est. Owner Occupied Housing Units by Value 555
2022 Est. Median All Owner-Occupied Housing Unit Value $ 675,791 2022 Est. Housing Units by Units in Structure 666 1 Unit Attached
1 Unit Detached
2 Units
3 or 4 Units
5 to 19 Units
20 to 49 Units
50 or More Units 21 3.18% Mobile Home or Trailer 8
Boat, RV, Van, etc. 0 0.00% Dominant structure type 1 Unit Detached 2022 Est. Housing Units by Year Structure Built 666 Housing Units Built 2014 or Later 203
Housing Units Built 2010 to 2013 73
Housing Units Built 2000 to 2009
Housing Units Built 1990 to 1999
Housing Units Built 1980 to 1989
Units Built 1970 to 1979
Units Built 1960 to 1969
Housing Units Built 1950 to 1959
Housing Units Built 1940 to 1949
Housing Units Built 1939 or Earlier
2022 Est. Median Year Structure Built** 2006 10161 SE 172nd Ave, Happy Valley, OR 97086 Sitewise Online Pop-Facts: Demographic Snapshot (Part 2) Pop-Facts: Demographic Snapshot (Part 2) 10161 SE 172nd Ave, Happy Valley, OR 97086 0 - 1 mi
more
13 1.98%
550 82.55%
0 0.00%
19 2.90%
23 3.45%
32 4.76%
1.18%
30.47%
10.97%
160 24.05%
50 7.55%
16 2.44% Housing
91 13.67% Housing
37 5.59%
9 1.36%
9 1.39%
17 2.51%

10161 SE 172nd Ave, Happy Valley, OR 97086 Sitewise Online

Pop-Facts: Demographic Snapshot (Part 2)

Pop-Facts: Demographic Snapshot (Part 2)

10161 SE 172nd Ave, Happy Valley, OR 97086 0 - 1 mi

Dominant Year Structure Built 2014 or Later

Copyright © Claritas, LLC 2022. All rights reserved.

* This row intentionally left blank. No Total Category.

**1939 will appear when at least half of the Housing Units in this reports area were built in 1939 or earlier.

10161 SE 172nd Ave, Happy
OR
Sitewise Online Pop-Facts: Census Demographic Overview (Part 1) Pop-Facts: Census Demographic Overview (Part 1) 10161 SE
0
Population 2027 Projection
2022 Estimate
2010 Census
2000 Census
Growth
Growth
Growth
2010 Population by Single-Classification Race 1,189
Black or African American Alone
and Alaska Native Alone
Islander Alone
2010 Population By Ethnicity
Not Hispanic or Latino
Hispanic or Latino
2010 Hispanic or Latino by Single-Classification Race 47 White Alone
Black or African American Alone
American Indian and Alaska Native Alone
Asian Alone
Native
and Other Pacific Islander Alone
or
2010 Population by Sex 1,189 Male 595
Female 594
Male/Female Ratio
Valley,
97086
172nd Ave, Happy Valley, OR 97086
1 mi
2,042
1,939
1,189
645
2022-2027 5.31%
2010-2022 63.09%
2000-2010 84.27%
White Alone 925 77.78%
16 1.37% American Indian
6 0.53% Asian Alone 184 15.52% Native Hawaiian and Other Pacific
2 0.14% Some Other Race Alone 16 1.30% Two or More Races 40 3.37%
1,189
1,142 96.02%
47 3.98%
25 52.67%
0 0.02%
0 0.15%
1 1.50%
Hawaiian
0 0.05% Some Other Race Alone 14 29.46% Two
More Races 8 16.15%
50.06%
49.94%
1.00

10161 SE 172nd Ave, Happy Valley, OR 97086

Sitewise Online

Pop-Facts: Census Demographic Overview (Part 1)

Pop-Facts: Census Demographic Overview (Part 1)

10161 SE 172nd Ave, Happy Valley, OR 97086 0 1 mi

2010 Population by Age 1,189

Age 0 to 4 84 7.11%

Age 5 to 9 97 8.16%

Age 10 to 14 101 8.47%

Age 15 to 17 63 5.26%

Age 18 to 20 38 3.22%

Age 21 to 24 43 3.60%

Age 25 to 34 118 9.89%

Age 35 to 44 189 15.87%

Age 45 to 54 188 15.83%

Age 55 to 64 146 12.32%

Age 65 to 74 72 6.07%

Age 75 to 84 37 3.09%

Age 85 and over 13 1.10%

Age 16 and over 883 74.31%

Age 18 and over 844 70.99% Age 21 and over 806 67.77% Age 65 and over 122 10.26%

2010 Median Age 37.70

10161 SE 172nd Ave, Happy Valley, OR 97086

Sitewise Online

Pop-Facts: Census Demographic Overview (Part 1)

Pop-Facts: Census Demographic Overview (Part 1)

2010 Male Population by Age

10161 SE 172nd Ave, Happy Valley, OR 97086 0 1 mi

595

Age 0 to 4 41 6.86%

Age 5 to 9 50 8.47%

Age 10 to 14 47 7.90%

Age 15 to 17 35 5.90%

Age 18 to 20 20 3.35%

Age 21 to 24 21 3.54%

Age 25 to 34 56 9.49%

Age 35 to 44 91 15.28%

Age 45 to 54 97 16.37%

Age 55 to 64 75 12.60%

Age 65 to 74 36 6.09%

Age 75 to 84 20 3.33%

Age 85 and over 5 0.81%

2010 Median Age, Male 37.94

2010

Female Population by Age

594

Age 0 to 4 44 7.36%

Age 5 to 9 47 7.86%

Age 10 to 14 54 9.05%

Age 15 to 17 27 4.62%

Age 18 to 20 18 3.10%

Age 21 to 24 22 3.66%

Age 25 to 34 61 10.29%

Age 35 to 44 98 16.46% Age 45 to 54 91 15.28%

Age 55 to 64 71 12.03%

Age 65 to 74 36 6.05%

Age 75 to 84 17 2.86%

Age 85 and over 8 1.39%

2010 Median Age, Female 37.48

Copyright

© Claritas, LLC 2022. All rights reserved.

10161 SE 172nd Ave, Happy Valley, OR 97086 Sitewise Online

Pop-Facts:

Pop-Facts:

384 1-person 39 10.22% 2-person 119 31.09% 3-person 71 18.55% 4-person 84 21.90% 5-person 43 11.07% 6-person 15 3.95% 7-or-more-person 12 3.22%

Census Demographic Overview (Part 2)
Census Demographic Overview (Part 2) 10161 SE 172nd Ave, Happy Valley, OR 97086 0 1 mi
Households by Household Type
Households
Households
Group Quarters Population
Hispanic or Latino Households
Households by Household Size
Households 2027 Projection 668 2022 Estimate 631 2010 Census 384 2000 Census 224 Growth 2022-2027 5.82% Growth 2010-2022 64.25% Growth 2000-2010 71.78% 2010
384 Family
325 84.51% Non-family
59 15.49% 2010
4 2010
11 2.96% 2010

Sitewise Online

Pop-Facts: Census Demographic Overview (Part 2)

Pop-Facts: Census Demographic Overview (Part 2)

10161 SE 172nd Ave, Happy Valley, OR 97086 0 1 mi

Married-Couple Family, own children 146 37.96%

Male Householder, own children 10 2.57% Female Householder, own children 11 2.76%

Married-Couple Family, no own children 138 36.01% Male Householder, no own children 7 1.94% Female Householder, no own children 13 3.28%

15.49%

53.27%

Married-Couple Family 153 85.49% Other Family, Male Householder 11 6.15% Other Family, Female Householder 13 7.30% Nonfamily, Male Householder 2 0.92% Nonfamily, Female Householder 0 0.13%

Households with No People Under Age 18: 205

Married-Couple Family 131 63.85% Other Family, Male Householder 6 3.06% Other Family, Female Householder 10 4.95% Nonfamily, Male Householder 33 16.07% Nonfamily, Female Householder 25 12.08%

2010 Households by Type and Presence of Children 384
Non-family Households 59
2010 Households by Presence of People Under Age 18 384
HH with 1 or More People Under Age 18: 180 46.73% Households with No People Under Age 18: 205
HH with 1 or More People Under Age 18: 180
2010 Occupied Housing Units by Tenure 384
Owner-Occupied 337 87.85% Renter-Occupied 47 12.15% Copyright © Claritas, LLC 2022. All rights reserved. 10161 SE 172nd Ave, Happy Valley, OR 97086

10161 SE 172nd Ave, Happy Valley, OR 97086

Sitewise Online

Retail Market Power Opportunity Gap Report By Retail Store Types

Retail Market Power Opportunity Gap Report

By Retail Store Types

10161 SE 172nd Ave, Happy Valley, OR 97086 0 - 1 mi

2022 Demand 2022 Supply Opportunity Gap/Surplus

Total retail trade including food and drink (NAICS 44, 45 and 722) $ 119,227,712 $ 32,445,272 $ 86,782,440

Total retail trade (NAICS 44 and 45) $ 106,087,562 $ 23,672,802 $ 82,414,759

Motor vehicle and parts dealers (NAICS 441) $ 24,051,668 $ 1,177,370 $ 22,874,297

Automobile dealers (NAICS 4411) $ 20,164,063 $ 453,358 $ 19,710,705

New car dealers (NAICS 44111) $ 17,915,562 $ 453,358 $ 17,462,204

Used car dealers (NAICS 44112) $ 2,248,501 $ 0 $ 2,248,501

Other motor vehicle dealers (NAICS 4412) $ 2,293,348 $ 653,193 $ 1,640,155

Recreational vehicle dealers (NAICS 44121) $ 915,525 $ 151,121 $ 764,404 Motorcycle, boat, and other motor vehicle dealers (NAICS 44122) $ 1,377,823 $ 502,072 $ 875,751

Boat dealers (NAICS 441222) $ 545,903 $ 0 $ 545,903

Motorcycle, ATV, and all other motor vehicle dealers (NAICS 441228) $ 831,919 $ 502,072 $ 329,848

Automotive parts, accessories, and tire stores (NAICS 4413) $ 1,594,256 $ 70,819 $ 1,523,437

Automotive parts and accessories stores (NAICS 44131) $ 1,008,319 $ 66,170 $ 942,149

Tire dealers (NAICS 44132) $ 585,938 $ 4,649 $ 581,289

Furniture and home furnishings stores (NAICS 442) $ 2,436,674 $ 1,657,860 $ 778,814

Furniture stores (NAICS 4421) $ 1,339,669 $ 1,155,134 $ 184,535

Home furnishings stores (NAICS 4422) $ 1,097,005 $ 502,726 $ 594,278

Floor covering stores (NAICS 44221) $ 534,566 $ 375,965 $ 158,601

Other home furnishings stores (NAICS 44229) $ 562,438 $ 126,761 $ 435,677

Window treatment stores (NAICS 442291) $ 26,806 $ 0 $ 26,806

All other home furnishings stores (NAICS 442299) $ 535,632 $ 126,761 $ 408,871

Electronics and appliance stores (NAICS 443) $ 1,420,295 $ 357,070 $ 1,063,225

Household appliance stores (NAICS 443141) $ 339,132 $ 27,451 $ 311,681

Electronics stores (NAICS 443142) $ 1,081,163 $ 329,619 $ 751,544

Building material and garden equipment and supplies dealers (NAICS 444) $ 8,030,622 $ 2,498,791 $ 5,531,831

Building material and supplies dealers (NAICS 4441) $ 6,914,153 $ 1,705,069 $ 5,209,085

Home centers (NAICS 44411) $ 3,846,232 $ 912,294 $ 2,933,937

Paint and wallpaper stores (NAICS 44412) $ 236,020 $ 130,494 $ 105,526

Hardware stores (NAICS 44413) $ 611,007 $ 44,520 $ 566,487

Other building material dealers (NAICS 44419) $ 2,220,894 $ 617,760 $ 1,603,134

Lawn and garden equipment and supplies stores (NAICS 4442) $ 1,116,468 $ 793,722 $ 322,746

Outdoor power equipment stores (NAICS 44421) $ 229,453 $ 0 $ 229,453

Nursery, garden center, and farm supply stores (NAICS 44422) $ 887,015 $ 793,722 $ 93,293

Food and beverage stores (NAICS 445) $ 15,505,671 $ 8,994,370 $ 6,511,302 Grocery stores (NAICS 4451) $ 13,789,091 $ 8,106,965 $ 5,682,125

Supermarkets and other grocery (except convenience) stores (NAICS 44511) $ 13,249,597 $ 8,092,477 $ 5,157,121

Convenience stores (NAICS 44512) $ 539,493 $ 14,489 $ 525,005

Specialty food stores (NAICS 4452) $ 404,889 $ 681,646 - $ 276,756

10161 SE 172nd Ave, Happy Valley, OR 97086

Sitewise Online

Retail Market Power Opportunity Gap Report By Retail Store Types

Retail Market Power Opportunity Gap Report

By Retail Store Types

10161 SE 172nd Ave, Happy Valley, OR 97086 0 - 1 mi

2022 Demand 2022 Supply Opportunity Gap/Surplus

Meat markets (NAICS 44521) $ 122,280 $ 0 $ 122,280

Fish and seafood markets (NAICS 44522) $ 48,152 $ 0 $ 48,152

Fruit and vegetable markets (NAICS 44523) $ 83,987 $ 0 $ 83,987

Other specialty food stores (NAICS 44529) $ 150,470 $ 681,646 $ 531,176

Baked goods and confectionery and nut stores (NAICS 445291 + 445292) $ 79,882 $ 0 $ 79,882

All other specialty food stores (NAICS 445299) $ 70,588 $ 681,646 $ 611,058

Beer, wine, and liquor stores (NAICS 4453) $ 1,311,691 $ 205,758 $ 1,105,933

Health and personal care stores (NAICS 446) $ 5,858,437 $ 2,552,349 $ 3,306,088

Pharmacies and drug stores (NAICS 44611) $ 5,079,666 $ 2,125,037 $ 2,954,629

Cosmetics, beauty supplies, and perfume stores (NAICS 44612) $ 340,374 $ 0 $ 340,374

Optical goods stores (NAICS 44613) $ 166,683 $ 0 $ 166,683

Other health and personal care stores (NAICS 44619) $ 271,713 $ 427,312 $ 155,599

Food (health) supplement stores (NAICS 446191) $ 97,096 $ 427,312 $ 330,216

All other health and personal care stores (NAICS 446199) $ 174,617 $ 0 $ 174,617

Gasoline stations (NAICS 447) $ 7,802,079 $ 668,560 $ 7,133,518

Clothing and clothing accessories stores (NAICS 448) $ 4,495,914 $ 1,278,591 $ 3,217,323

Clothing stores (NAICS 4481) $ 2,952,790 $ 654,595 $ 2,298,195

Men's clothing stores (NAICS 44811) $ 134,130 $ 44,833 $ 89,297

Women's clothing stores (NAICS 44812) $ 513,314 $ 34,689 $ 478,625

Children's and infants' clothing stores (NAICS 44813) $ 115,857 $ 3,965 $ 111,892

Family clothing stores (NAICS 44814) $ 1,776,636 $ 404,003 $ 1,372,633

Clothing accessories stores (NAICS 44815) $ 144,546 $ 21,276 $ 123,271

Other clothing stores (NAICS 44819) $ 268,307 $ 145,830 $ 122,477

Shoe stores (NAICS 4482) $ 629,113 $ 0 $ 629,113

Jewelry, luggage, and leather goods stores (NAICS 4483) $ 914,010 $ 623,996 $ 290,015

Jewelry stores (NAICS 44831) $ 597,360 $ 542,218 $ 55,143

Luggage and leather goods stores (NAICS 44832) $ 316,650 $ 81,778 $ 234,872

Sporting goods, hobby, musical instrument, and book stores (NAICS 451) $ 1,794,798 $ 692,001 $ 1,102,797

Sporting goods, hobby, and musical instrument stores (NAICS 4511) $ 1,616,471 $ 692,001 $ 924,470

Sporting goods stores (NAICS 45111) $ 1,195,512 $ 525,818 $ 669,694

Hobby, toy, and game stores (NAICS 45112) $ 318,632 $ 19,343 $ 299,289

Sewing, needlework, and piece goods stores (NAICS 45113) $ 49,129 $ 146,840 $ 97,711

Musical instrument and supplies stores (NAICS 45114) $ 53,197 $ 0 $ 53,197

Book stores and news dealers (NAICS 4512) $ 178,327 $ 0 $ 178,327

Book stores (NAICS 451211) $ 166,758 $ 0 $ 166,758

News dealers and newsstands (NAICS 451212) $ 11,569 $ 0 $ 11,569

General merchandise stores (NAICS 452) $ 13,543,580 $ 397,846 $ 13,145,735

Department stores (NAICS 4522) $ 1,761,309 $ 0 $ 1,761,309

Other general merchandise stores (NAICS 4523) $ 11,782,272 $ 397,846 $ 11,384,426

Warehouse clubs and supercenters (NAICS 452311) $ 10,623,114 $ 397,846 $ 10,225,268

All other general merchandise stores (NAICS 452319) $ 1,159,158 $ 0 $ 1,159,158

10161 SE 172nd Ave, Happy Valley, OR 97086

Sitewise Online

Retail Market Power Opportunity Gap Report By Retail Store Types

Retail Market Power Opportunity Gap Report

By Retail Store Types

10161 SE 172nd Ave, Happy Valley, OR 97086 0 - 1 mi

2022 Demand 2022 Supply Opportunity Gap/Surplus

Miscellaneous store retailers (NAICS 453) $ 2,373,930 $ 737,176 $ 1,636,754

Florists (NAICS 4531) $ 113,562 $ 0 $ 113,562

Office supplies, stationery, and gift stores (NAICS 4532) $ 551,483 $ 151,630 $ 399,854

Office supplies and stationery stores (NAICS 45321) $ 232,181 $ 81,031 $ 151,150

Gift, novelty, and souvenir stores (NAICS 45322) $ 319,302 $ 70,599 $ 248,703

Used merchandise stores (NAICS 4533) $ 358,174 $ 274,690 $ 83,484

Other miscellaneous store retailers (NAICS 4539) $ 1,350,711 $ 310,856 $ 1,039,855

Pet and pet supplies stores (NAICS 45391) $ 374,328 $ 67,050 $ 307,278

Art dealers (NAICS 45392) $ 242,102 $ 0 $ 242,102

Manufactured (mobile) home dealers (NAICS 45393) $ 155,286 $ 129,102 $ 26,184

All other miscellaneous store retailers (NAICS 45399) $ 578,995 $ 114,704 $ 464,291

Tobacco stores (NAICS 453991) $ 119,902 $ 11,434 $ 108,468

All other miscellaneous store retailers (except tobacco stores) (NAICS 453998) $ 459,093 $ 103,270 $ 355,823

Non-store retailers (NAICS 454)

$ 18,773,895 $ 2,660,820 $ 16,113,075

Electronic shopping and mail-order houses (NAICS 4541) $ 17,809,422 $ 2,660,820 $ 15,148,602

Vending machine operators (NAICS 4542) $ 129,848 $ 0 $ 129,848

Direct selling establishments (NAICS 4543) $ 834,624 $ 0 $ 834,624

Fuel dealers (NAICS 45431) $ 396,277 $ 0 $ 396,277

Other direct selling establishments (NAICS 45439) $ 438,347 $ 0 $ 438,347

Food services and drinking places (NAICS 722) $ 13,140,151 $ 8,772,470 $ 4,367,681

Special food services (NAICS 7223) $ 1,050,724 $ 64,495 $ 986,230

Food service contractors (NAICS 72231) $ 830,884 $ 47,004 $ 783,880

Caterers (NAICS 72232) $ 200,318 $ 17,491 $ 182,827

Mobile food services (NAICS 72233) $ 19,522 $ 0 $ 19,522

Drinking places (alcoholic beverages) (NAICS 7224) $ 420,819 $ 7,039 $ 413,780

Restaurants and other eating places (NAICS 7225) $ 11,668,608 $ 8,700,936 $ 2,967,671

Full-service restaurants (NAICS 722511) $ 5,831,928 $ 4,075,140 $ 1,756,788

Limited-service restaurants (NAICS 722513) $ 4,953,079 $ 3,316,245 $ 1,636,834

Cafeterias, grill buffets, and buffets (NAICS 722514) $ 126,264 $ 79,394 $ 46,869 Snack and nonalcoholic beverage bars (NAICS 722515) $ 757,337 $ 1,230,157 $ 472,820

GAFO* $ 23,691,813 $ 4,383,519 $ 19,308,294

General Merchandise Stores-452 $ 13,543,580 $ 397,846 $ 13,145,735

Clothing & Clothing Accessories Stores-448 $ 4,495,914 $ 1,278,591 $ 3,217,323

Furniture & Home Furnishings Stores-442 $ 2,436,674 $ 1,657,860 $ 778,814

Electronics & Appliance Stores-443 $ 1,420,295 $ 357,070 $ 1,063,225

Sporting Goods, Hobby, Book, Music Stores-451 $ 1,794,798 $ 692,001 $ 1,102,797

Office Supplies, Stationery, Gift Stores-4532 $ 551,483 $ 151,630 $ 399,854

* GAFO (General merchandise, Apparel, Furniture and Other) represents sales at stores that sell merchandise normally sold in department stores. This category is not included in Total Retail Sales Including Eating and Drinking Places.

10161 SE 172nd Ave, Happy Valley, OR 97086

Sitewise Online

Retail Market Power Opportunity Gap Report By Retail Store Types

Retail Market Power Opportunity Gap Report By Retail Store Types

Retail Market Power data is derived from two major sources of information. The demand data is derived from the Consumer Expenditure Survey (CE Survey or CEX), which is fielded by the U.S. Bureau of Labor Statistics (BLS). The supply data is derived from the Census of Retail Trade (CRT), which is made available by the U.S. Census. Additional data sources are incorporated to create both supply and demand estimates.

The difference between demand and supply represents the opportunity gap or surplus available for each merchandise line in the specified reporting geography. When this difference is positive (demand is greater than the supply), there is an opportunity gap for that merchandise line; when the difference is negative (supply is greater than demand), there is a surplus.

Copyright © 2022 Environics Analytics. All rights reserved.

10161 SE 172nd Ave, Happy Valley, OR 97086 0 - 1 mi 2022 Demand 2022 Supply Opportunity Gap/Surplus

Powered by Sitewise Data Source: Kalibrate TrafficMetrix Traffic Listing 10161 SE 172nd Ave, Happy Valley, OR 97086 November 30, 2022 Map # Street Cross Street Dir. Volume Type/Year Dist. (mi) 1. SE Hemrick Rd SE 172nd Ave W 2,078 Current Year 0.2 2. SE Hemrich Road SE Foster Rd E 2,061 Current Year 0.3 3. Southeast 172nd Avenue SE Maple Hill Ln N 6,417 Current Year 0.3 4. SE Foster Road SE Tillstrom Rd N 5,630 Current Year 0.5 5. Southeast Foster Road SE Tillstrom Rd N 5,924 Current Year 0.5 6. SE Sager Rd SE 172nd Ave E 830 Published (2002) 0.6 7. SE 172nd Ave SE Sager Rd S 6,748 Current Year 0.7 8. SE Hagen Rd 1,116 Current Year 0.7 9. SE Sager Rd SE 162nd Ave W 4,681 Published (2002) 0.7 10. SE Foster Rd SE Tillstrom Rd S 7,163 Current Year 0.7 11. SE Tillstrom Road SE Caleb Ln NW 3,098 Current Year 0.8 12. SE Tillstrom Rd SE 190th Dr SE 3,106 Current Year 0.8 13. SE Foster Road SE Cheldelin Rd NW 6,428 Current Year 0.8 14. SE Cheldelin Rd SE Foster Rd W 1,232 Published (2002) 0.9 15. SE Troge Rd SE 172nd Ave W 409 Current Year 0.9 16. Southeast 162nd Avenue SE Monner Rd S 3,747 Current Year 1.0

Turn static files into dynamic content formats.

Create a flipbook
Issuu converts static files into: digital portfolios, online yearbooks, online catalogs, digital photo albums and more. Sign up and create your flipbook.