16472 SW 133RD TER - HP

Page 1


PROPERTY ADDRESS

16472 SW 133RD TER

PORTLAND, OR 97224

OWNER INFORMATION

OWNER NAME: Justin Binning

VESTING:

MAILING ADDRESS: 16472 SW 133rd Ave Tigard OR 97224

OWNER STATUS: Owner occupied

LOCATION DESCRIPTION

COUNTY: Washington

CENSUS / BLOCK: 031913 / 1027

TSP - RNG - SEC: 02S - 01W - 16

LOT / BLOCK: 24 /

HOUSING TRACT: Castle Oaks 02

ALT PARCEL #: R2122119

SCHOOL DISTRICT: Tigard-Tualatin

MUNICIPALITY: Portland PARCEL #: R2122119

LAST MARKET SALE

PRIOR SALE

DATE: 09/03/2008 DATE: 11/01/2005

16472 SW 133RD TER PORTLAND, OR 97224

PROPERTY CHARACTERISTICS

GROSS AREA: 1,948

LIVING AREA: ABOVE GRADE:

BEDROOMS: 3

BATHROOMS: 3

FIREPLACE: 1

YEAR BUILT: 2005

PARKING TYPE: Attached Garage

UNITS:

BASEMENT:

GARAGE AREA: 380

ROOF SHAPE:

FOUNDATION: 01

ROOF MATERIAL: Composition Shingle

CONSTRUCTIONS: Wood

HEAT TYPE: Yes

COOLING TYPE:

EXTERIOR WALL: Wood

ROOMS:

QUALITY:

INTERIOR WALL:

PORCH TYPE:

PATIO TYPE:

AIR COND: Y

FIXTURES: FLOOR:

EQUIPMENT:

STORIES: POOL:

CONDITION: Average

PROPERTY INFORMATION

LAND USE: Residential Improved

ZONING: Low Density Residential Distric

COUNTY USE: Residence Single Family

LOT ACRES: 0.1

STATE USE: LOT SQ FT: 4,356

LEN / WID:

TAXES AND ASSESSMENT INFORMATION

ASSD YEAR: 2024

ASSD VALUE: $407,470

TAXABLE VAL:

TAX YEAR: 2024

LAND VALUE: $248,330

MKT VALUE: $575,860

TAX AREA: 23.17

IMP VALUE: $327,530

EXEMPTIONS:

PROPERTY TAX: $5,876.35

IMPROVED %: 57

DISTRICT:

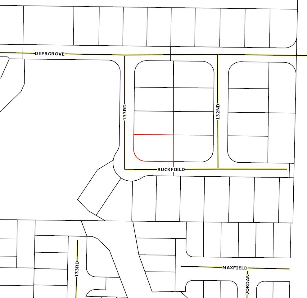
A S S E S S O R M A P

S T R E E T

A E R I A L M A P

CITY BOUNDARY MAP

S C H O O L S

Tigard-Tualatin School District

ELEMENTARY SCHOOLS

NAME: Deer Creek Elementary School

CHARTER SCHOOL: No

ADDRESS: 16155 Sw 131St Ave MAGNET SCHOOL:

CITY, STATE, ZIP: Tigard, OR 97224

DESCRIPTION: 21-Suburb: Large

PHONE: (503)431-4450 DISTANCE: 0.14 mile(s)

GRADES: Kindergarten - 5th Grade TITLE ONE: 1-Yes

NAME: Alberta Rider Elementary School

ADDRESS: 14850 Sw 132Nd Ter

CITY, STATE, ZIP: Tigard, OR 97224

PHONE: (503)431-4900

CHARTER SCHOOL: No

DESCRIPTION: 13-City: Small

0.81 mile(s) GRADES: Kindergarten - 5th Grade TITLE ONE: 2-No

MIDDLE SCHOOLS

NAME: Hazelbrook Middle School

CHARTER SCHOOL: No

ADDRESS: 11300 Sw Hazelbrook Rd MAGNET SCHOOL:

CITY, STATE, ZIP: Tualatin, OR 97062

PHONE: (503)431-5100

DESCRIPTION: 21-Suburb: Large

1 13 mile(s)

GRADES: 6th Grade - 8th Grade TITLE ONE: 2-No

NAME: Twality Middle School

ADDRESS: 14650 Sw 97Th Ave

CITY, STATE, ZIP: Tigard, OR 97224

PHONE: (503)431-5200

GRADES: 6th Grade - 8th Grade

HIGH SCHOOLS

NAME: Tigard High School

CHARTER SCHOOL: No

DESCRIPTION: 13-City: Small

2.08 mile(s)

ONE: 2-No

CHARTER SCHOOL: No

ADDRESS: 9000 Sw Durham Rd MAGNET SCHOOL: CITY, STATE, ZIP: Tigard, OR 97224

PHONE: (503)431-5400

GRADES: 9th Grade - 12th Grade

NAME: Tualatin High School

DESCRIPTION: 13-City: Small

2.17 mile(s)

ONE: 2-No

CHARTER SCHOOL: No

ADDRESS: 22300 Sw Boones Ferry Rd MAGNET SCHOOL: CITY, STATE, ZIP: Tualatin, OR 97062 AREA DESCRIPTION: 21-Suburb: Large

PHONE: (503)431-5600

GRADES: 9th Grade - 12th Grade

3 48 mile(s)

ONE: 2-No

Students We Serve

OREGON AT-A-GLANCE DISTRICT PROFILE

Tigard-Tualatin SD 23J

SUPERINTENDENT: Iton-Etok O Udosenata | 6960 SW Sandburg St, Tigard 97223 | 503-431-4000

Academic Success

Students

2023-24

Grade 3 ENGLISH LANGUAGE ARTS

Students

Students

High School Success

ON-TIME GRADUATION

Students

Cohort

Students

District Goals

TTSD’s Mission is to Educate Every Child. We do this with a dedication to Student Achievement, Equity, Talent, and Climate & Culture. These values guide our delivery of inclusive, culturally specific instruction and our belief in the success of every student. We work collectively guided by data to meet the individual academic needs of our students and to provide the social and emotional supports that remove barriers to achievement.

State Goals

The Oregon Department of Education is collaborating with school districts and communities across the state to achieve a 90% on-time graduation rate by 2027. Grounded in the pillars of Academic Excellence, Belonging and Wellness, and Reimagined Accountability, ODE prioritizes evidence-based practices to boost early literacy, attendance, and student engagement. We are committed to closing opportunity and achievement gaps for marginalized students and securing long-term success for all of Oregon’s learners by investing in culturally responsive practices, fostering inclusive environments and always driving for continuous improvement.

Our Staff (rounded FTE)

OREGON AT-A-GLANCE DISTRICT PROFILE

Tigard-Tualatin SD 23J

Outcomes

TO GRADUATE

ON-TIME GRADUATION

Students We Serve

OREGON AT-A-GLANCE SCHOOL PROFILE

Deer Creek Elementary School

PRINCIPAL: Cori Waufle | GRADES: K-5 | 16155 SW 131st Ave, Tigard 97224 | 503-431-4450

2023-24

REGULAR ATTENDERS

Students

MATHEMATICS

School Goals

Deer Creek is dedicated to the delivery of inclusive, culturally specific instruction and our belief in the success of every student. We work collectively guided by data to meet the individual academic needs of our students and to provide the social and emotional supports that remove barriers to achievement. We foster strong systems of teacher collaboration and leverage our 1:1 technology to benefit every student.

State Goals

The Oregon Department of Education is collaborating with school districts and communities across the state to achieve a 90% ontime graduation rate by 2027. Grounded in the pillars of Academic Excellence, Belonging and Wellness, and Reimagined Accountability, ODE prioritizes evidence-based practices to boost early literacy, attendance, and student engagement. We are committed to closing opportunity and achievement gaps for marginalized students and securing long-term success for all of Oregon’s learners by investing in culturally responsive practices, fostering inclusive environments and always driving for continuous improvement.

Safe & Welcoming Environment

TTSD continuously evaluates and responds to the needs of our ever-changing world and specifically our student population. We hold an uncompromised commitment to the safety and well-being of our students and staff, and maintaining a safe, inclusive, respectful, and rigorous learning environment. Our goal is for all students to feel physically and emotionally safe and respected. We are led by Board policies dedicated to protecting all students, staff, and families from discrimination, bias, hate, and harassment.

Our Staff (rounded FTE)

OREGON AT-A-GLANCE SCHOOL PROFILE

Deer Creek Elementary School

Outcomes

REGULAR ATTENDERS

ENGLISH LANGUAGE ARTS

Teachers

About Our School

BULLYING, HARASSMENT, AND SAFETY POLICIES

We are committed to fostering a school environment that is free from hazing, harassment, intimidation, racism, bullying, cyberbullying, menacing, or any threat to personal safety or race/national origin discrimination. This commitment is mandated by Board policy and reinforced by our student handbook. TTSD students have the responsibility to respect the rights of others, seek help when they know about a wrongful act, and resolve disputes peacefully. We teach anti-bullying and antihate lessons and provide professional supports around social, emotional, and behavioral health.

EXTRACURRICULAR ACTIVITIES

· Art Literacy

· Guitar Lessons

· Oregon Battle of the Books

· STEAM Family Engagement Night

· One Book One School Family

Engagement to Promote Reading

· Bike and Pedestrian Safety Training

· 5th Grade Student Ambassadors

· Family/Community Nights

· Multicultural Fair with feeder schools

· Running Club

PARENT ENGAGEMENT

TTSD creates collaborative, culturally responsive relationships with all families. Communication is delivered in a variety of ways to ensure parents are informed and engaged in their students’ learning and school environment. We welcome parent volunteers in our classrooms and school. Dedicated staff work with our families to serve the needs of each of our students. All major decisions that impact our students are made in partnership with our students and families.

COMMUNITY ENGAGEMENT

The TTSD community has a long and proven history of support for education and their schools. We work every day to steward that support by preparing our students for success in school and life. Our district strives to provide world-class experiences exposing our students to innovative learning in state-of-the-art buildings delivered by best-in-class teachers. We recognize that we can only do this work in partnership with our community. We are grateful for the lifechanging assistance we receive from our volunteers, businesses, civic groups, faith communities, and countless others.

Students We Serve

OREGON AT-A-GLANCE SCHOOL PROFILE

Twality Middle School

PRINCIPAL: Susan Kosmala | GRADES: 6-8 | 14650 SW 97th Ave, Tigard 97224 | 503-431-5200

2023-24

REGULAR ATTENDERS

Students

School Goals

Twality's mission is to develop well-rounded students who take responsibility for their education and are academically prepared for high school. We believe building positive relationships with our students is the foundation for academic success. We are dedicated to fostering an inclusive learning community that values all voices and celebrates kindness and equitable outcomes for all students. Our instructional focus is based on common formative assessment and using data to create individualized plans for every student.

MATHEMATICS

State Goals

The Oregon Department of Education is collaborating with school districts and communities across the state to achieve a 90% ontime graduation rate by 2027. Grounded in the pillars of Academic Excellence, Belonging and Wellness, and Reimagined Accountability, ODE prioritizes evidence-based practices to boost early literacy, attendance, and student engagement. We are committed to closing opportunity and achievement gaps for marginalized students and securing long-term success for all of Oregon’s learners by investing in culturally responsive practices, fostering inclusive environments and always driving for continuous improvement.

Safe & Welcoming Environment

TTSD continuously evaluates and responds to the needs of our ever-changing world and specifically our student population. We hold an uncompromised commitment to the safety and well-being of our students and staff, and maintaining a safe, inclusive, respectful, and rigorous learning environment. Our goal is for all students to feel physically and emotionally safe and respected. We are led by Board policies dedicated to protecting all students, staff, and families from discrimination, bias, hate, and harassment.

Our Staff (rounded FTE)

OREGON AT-A-GLANCE SCHOOL PROFILE

Twality Middle School

Outcomes

REGULAR ATTENDERS

ENGLISH LANGUAGE ARTS

Teachers

About Our School

BULLYING, HARASSMENT, AND SAFETY POLICIES

We are committed to fostering a school environment that is free from hazing, harassment, intimidation, racism, bullying, cyberbullying, menacing, or any threat to personal safety or race/national origin discrimination. This commitment is mandated by Board policy and reinforced by our student handbook. TTSD students have the responsibility to respect the rights of others, seek help when they know about a wrongful act, and resolve disputes peacefully. We teach anti-bullying and antihate lessons and provide professional supports around social, emotional, and behavioral health.

EXTRACURRICULAR ACTIVITIES

· Extracurricular activities offered for all grades through ASA include: Cross Country, Soccer, Basketball, Volleyball, Chess, Homework Club, Dungeons & Dragons, Art Enrichment, Oregon Battle of the Books,

· Affinity organizations: Pacific Islander Pride, Black Student Union, Asian Student Union, MeCha, Communicare, No Place for Hate, and LBGTQIA+ Alliance

· Drama, choir, band, and orchestra performances

· Drum Line

· Oregon Battle of the Books

· REAP

· AVID

· Intercambio

PARENT ENGAGEMENT

TTSD creates collaborative, culturally responsive relationships with all families. Communication is delivered in a variety of ways to ensure parents are informed and engaged in their students’ learning and school environment. We welcome parent volunteers in our classrooms and school. Dedicated staff work with our families to serve the needs of each of our students. All major decisions that impact our students are made in partnership with our students and families.

COMMUNITY ENGAGEMENT

The TTSD community has a long and proven history of support for education and their schools. We work every day to steward that support by preparing our students for success in school and life. Our district strives to provide world-class experiences exposing our students to innovative learning in state-of-the-art buildings delivered by best-in-class teachers. We recognize that we can only do this work in partnership with our community. We are grateful for the lifechanging assistance we receive from our volunteers, businesses, civic groups, faith communities, and countless others.

Students We Serve

OREGON AT-A-GLANCE SCHOOL PROFILE

Tualatin High School

PRINCIPAL: Michael Dellerba | GRADES: 9-12 | 22300 SW Boones Ferry Rd, Tualatin 97062 | 503-431-5600

REGULAR ATTENDERS

Students

2023-24

students who were first-time ninth graders in 2019-20 graduating in 2022-23

FIVE-YEAR COMPLETION

Students earning a high school diploma or GED within five years. Cohort Includes students who were firsttime ninth graders in 2018-19 finishing in 2022-23

COLLEGE GOING

Students enrolling in a two or four year college within 12 months of completing high school in 202122. Data from the National Student Clearinghouse.

School Goals

Tualatin High School is focused on establishing a culture of care and belonging within our school communities serving as the foundation for rigorous and meaningful teaching and learning. Student discourse, agency, and collaborative discussions are used to deepen critical thinking, collaboration, and communication skills. We have systems in place to ensure students are on track with credit attainment. All students receive mentorship to support the development and implementation of their high school and beyond plans.

State Goals

The Oregon Department of Education is collaborating with school districts and communities across the state to achieve a 90% ontime graduation rate by 2027. Grounded in the pillars of Academic Excellence, Belonging and Wellness, and Reimagined Accountability, ODE prioritizes evidence-based practices to boost early literacy, attendance, and student engagement. We are committed to closing opportunity and achievement gaps for marginalized students and securing long-term success for all of Oregon’s learners by investing in culturally responsive practices, fostering inclusive environments and always driving for continuous improvement.

Safe & Welcoming Environment

TTSD continuously evaluates and responds to the needs of our ever-changing world and specifically our student population. We hold an uncompromised commitment to the safety and well-being of our students and staff, and maintaining a safe, inclusive, respectful, and rigorous learning environment. Our goal is for all students to feel physically and emotionally safe and respected. We are led by Board policies dedicated to protecting all students, staff, and families from discrimination, bias, hate, and harassment.

Our Staff (rounded FTE)

OREGON AT-A-GLANCE SCHOOL PROFILE

Tualatin High School

Outcomes

REGULAR ATTENDERS

TO GRADUATE

About Our School

ADVANCED COURSEWORK

· International Baccalaureate Program

· College Credit Bearing Courses

· Portland Community College Partnership

· Career and Technical Education pathways in Computer Science, Engineering, Culinary Arts, Advanced Business Practices, Construction, Health Occupations, Graphic Design, and Film.

CAREER & TECHNICAL EDUCATION

· Audiovisual Communications Technologies

· Elementary Education and Teaching

· Computer Engineering Technology

· Automotive Mechanics Technology

· Marketing/Marketing Management

· Culinary Arts

· Computer Technology

· Accounting and Finance

· Community Improvement Design and Construction

EXTRACURRICULAR ACTIVITIES

· 17 Interscholastic Sports

· 30 Academic and Service Clubs with Award Winning FBLA

· Robotics, National Honors Society, and Performing Arts

· HOSA Future Health Professionals

· MeCha

· Black Student Union

· Pacific Islander Club

· Student Affinity Groups

PARENT & COMMUNITY ENGAGEMENT

TTSD creates collaborative, culturally responsive relationships with all families. Communication is delivered in a variety of ways to ensure parents are informed and engaged in their students’ learning and school environment. We welcome parent volunteers in our classrooms and school. Dedicated staff work with our families to serve the needs of each of our students. All major decisions that impact our students are made in partnership with our students and families.

48,035 $51,581 37.4 49% 51%

 Tigard-Tualatin

HOUSING

 60.86% of homes owner occupied

 39.14% of homes rented

POPULATION DENSITY

 4,067.3 inhabitants per sq. mile

 20,068 housing units at an average density of 1,699.2 per sq. mile

HISTORY

AGE DEMOGRAPHIC

 24.1% under age 18

 8.1% between ages 18 to 24

 29.2% between ages 25 to 44

 27.4% between ages 45 to 64

 11.3% above age 65

CITY

QUICK FACTS

 10.6 miles southwest of downtown Portland

 11.81 square miles

 300 feet elevation

 Highest Average Temperature 80º

 Lowest Average Temperature 46º

METRO AREA BASE MAP

L

SW Old Tualatin-Sherwood Rd, Tualatin, OR 97062, USA

L O C A L B U S I N E S S E S

L O C A L B U S I N E

S S E S

Balzer Painting, Inc 12171 SW Herman Rd, Tualatin, OR 97062, USA (503) 692-8491 0 94 miles

Heinke Painting, LLC 14910 SW 100th Ave, Tigard, OR 97224, USA (503) 975-6570 1.13 miles

Velazquez Painting & Construction LLC 13500 SW Pacific Hwy Suite 58#203, Tigard, OR 97223, USA (503) 755-8544 1.34 miles

Hernanz Painting Co. 8122 SW Durham Rd, Tigard, OR 97224, USA (503) 525-2955 1.59 miles

Police Station

King City Police Department 15300 SW 116th Ave, Portland, OR 97224, USA (503) 620-8851 0.66 miles

Tigard Police Department 13125 SW Hall Blvd, Tigard, OR 97223, USA (503) 629-0111 1.74

Tualatin City Police Department 18622 SW Boones Ferry Rd, Tualatin, OR 97062, USA (503) 692-2000 1.75 miles

City of Sherwood Police Department - To Protect and Serve, Ourselves 20495 SW Borchers Dr, Sherwood, OR 97140, USA (503) 625-5523 1 77 miles

Fire Station Name Address Telephone Distance

TVF&R Station 35 17135 SW Pacific Hwy, King City, OR 97224, USA (503) 649-8577 0 44 miles

Lake Oswego Fire Dept Station 211 4555 Jean Rd, Lake Oswego, OR 97035, USA (503) 635-0275 2

Portland Fire Station 18 8720 SW 30th Ave, Portland, OR 97219, USA

Portland Fire & Rescue Station 15 1920 SW Spring St, Portland, OR 97201, USA (503) 823-3700 5.80 miles

L

L

Roamers Rest RV Park 17585 SW Pacific Hwy, Tualatin, OR 97062, USA (503) 692-6350

Pheasant Ridge RV Park 8275 SW Elligsen Rd, Wilsonville, OR 97070, USA (503) 682-7829

Champoeg Group Camp Sites (Beaver, Otter, Heron) Champoeg State Park, St Paul, OR 97137, USA (503)

AMC DINE-IN Progress Ridge 13 12345 SW Horizon Blvd #231, Beaverton, OR 97007, USA (503)

Regal Bridgeport Village ScreenX & IMAX

16 Cedar Hills 3200 SW Hocken Ave, Beaverton, OR 97005, USA (503) 520-0892

L O C A L B U S I N E S S E S

Mazatlan Mexican Restaurant 15655 SW 116th Ave, King City, OR 97224, USA (503) 443-3969

L

L

The Holiday Express The Oaks Station, 7805, 2321 7805 SE Oaks Park Way, Portland, OR 97202, USA

Emergency Police/Medical/Fire 911

Poison Control (800) 222-1222 www.aapcc.org

United States Postal Service (800) 275-8777 www.usps.com

Xfinity (800) 266-2278 www.xfinity.com

Ziply Fiber (866) 699-4759 www.ziplyfiber.com

Verizon (800) 483-4100 www.verizon.com

AT&T (800) 288-2020 www.att.com

CenturyLink (866) 963-6665 www.centurylinkcom

Dish Network (800) 318-0572 www.dish.com

DIRECT TV (800) 531-5000 www.directtv.com

The Oregonian (503) 221-8240 www.oregonlive.com

TRI-MET (503) 238-7433 www.trimet.org

Northwest Natural Gas (800) 422-4012 www.nwnatural.com

Portland General Electric (503) 228-6322 www.portlandgeneral.com

City of Tigard Water Provider (503) 718-2460 www.tigard-or.gov

City of Tigard Sewer Provider (503) 718-2591 www.tigard-or.gov

Pride Disposal (503) 625-6177 www.pridedisposal.com

Tigard/Tualatin School District (503) 431-4000 www.ttsdschools.org

CHANGE OF ADDRESS

USPS

Below is the website if you would like to change your address online or you can visit your local post office, they will provide you with the change of address packet. https://moversguide.usps.com

Benefits you will receive when you change your address online are:

Exclusive mover savings coupons

Safe and secure with identity verification by a simple $100 charge to your credit or debit card

Email confirmation at the end of registration of your change of address

* Must have valid email address and credit card to register online

AUTO REGISTRATION AND DRIVER LICENSING

Below is the website if you would like to change your address online or you can visit your local DMV office.

Oregon Department of Transportation DMV Services 1905 Lana Avenue NE Salem, OR 97314-0100

wwworegondmvcom/oregon/indexhtm

General DMV Information Contact: 503-299-9999

VOTERS REGISTRTION

TO REGISTER TO VOTE, YOU MUST BE:

A citizen of the USA

A resident of Oregon

A Legal Resident of Oregon State at least 18 years of age on or before the next election

HOW TO REGISTER

To register to vote online you will need an Oregon driver's license, permit or ID card number issued by the Oregon Driver and Motor Vehicle Services Division (DMV)

If you do not have an Oregon driver's license, permit or ID card, you can still use the online voter registration application. The information you enter will display on a voter registration card (PDF document) that you will need to print, sign and deliver to your county elections office to complete your registration.

REGISTRATION DEADLINE

A new registrant must submit their online registration by 11:59:59 p.m. Pacific Time on the 21st calendar day before an election to be eligible to vote in that election.

CHANGE OF ADDRESS

If you move to a new county, you must complete a new voter registration, otherwise you must request a transfer of your registration

Clackamas County Voter Registration: 503-655-8510

Multnomah County Voter Registration: 503-988-3720

Washington County Voter Registration: 503-846-5800

MOVING CHECKLIST

UTILITIES

Electric

NWNaturalGas

WaterDistrict

SewerDistrict

GarbageProvider

Cable/Satellite

Fuel(Propane)

PhoneServices

Internet

FINANCIAL

BanksandCreditUnions

CreditCardCompanies (includingdepartmentstorecreditcards)

Lenders

(Mortgage,HomeEquity,Auto,StudentLoans)

InsuranceCompanies

(Health,Renters,Auto,Home,Medical,Dental,Disability,Life)

Retirement (Pensionplans,401K,SocialSecurity,VeteransAffairs)

Investments(InvestmentAgenciesandBrokers)

OnlineBillPayer

Paypal

GOVERNMENT

USPostOffice

DepartmentofMotorVehicles

(Obtainyourdriver’slicenseandchangevehicleregistration)

IRS

PassportOffice

VeteranAffairs

UnemploymentOffice

(Ifyouarecurrentlyreceivingunemploymentbenefits)

HEALTH

Physician

Pharmacies

SERVICE PROVIDER

Childcare

Housecleaning Services

Delivery Services

Lawn Care Services

Veterinarian

Pool Service

MEMBERSHIPS

Health Clubs

Membership Clubs(AAA or similar)

Community Groups (PTA, Neighborhood Associations, Civic Clubs)

Children’s Extracurricular

Activities(Dance Classes, Music Lesson, Sports Clubs)

SUBSCRIPTIONS

Newspapers

Magazine(USPS will only forward 2 months)

Movie Subscriptions

Book or Music Clubs

OTHER

Friends and Family

Employers(typically notify the HR Department)

MOVING CHECKLIST 8

8 WEEK BEFORE YOU MOVE

InventorySheets:Createaninventorysheetofallyour belongingswhichneedtobemoved

ResearchMovingOptions:You’llneedtodecideifyoursisa do-it-yourselfmoveorifyou’llbeusingamovingcompany

RequestMovingQuote:Solicitmovingquotesfromasmany movingcompaniesandmoversaspossible Therecanbea largedifferencebetweenratesandserviceswithinmoving companies

DiscardUnnecessaryItems:Movingisagreattimefor riddingyourselfofunnecessaryitems Haveayardsaleor donateunnecessaryitemstocharity

PackingMaterial:Gathermovingboxesandpacking materialforyourmove

ContactInsuranceCompanies:You’llneedtocontactyour insuranceagenttocancel/transferyourinsurancepolicy

1 WEEK BEFORE YOU MOVE

YourChangeofAddress:Changeyouraddresswiththe USPS,DMV,FinancialInstitutions,Utilities,Government Offices,HealthCareServiceProviders,Memberships, SubscriptionsandInsuranceProvisions

BankAccounts:Transferorclosebankaccountsifchanging banks Makesuretohaveamoneyorderforpayingthe movingcompany

ServiceAutomobiles:Ifautomobilesaretobedrivenlong distance,you’llwanttohavethemservicedsoyouhavea trouble-freedrive

CancelServices:Notifyanyremainingserviceproviders (newspapers,lawnservices,etc)ofyourmove

TravelItems:Setasideallitemsyou’llneedwhiletraveling Makesurethesearenotpackedonthemovingtruck

ContactUtilityCompanies:Setutilityturnoffdate,seek refundsanddepositsandnotifythemofyournewaddress

4 WEEK BEFORE YOU MOVE

StartPacking:Beginpackingallthingsdestinedforyournew location

ObtainYourMedicalRecords:Contactyourdoctor,physician, dentistandothermedicalspecialistswhomaycurrentlybe retaininganyofyourfamily’smedicalrecords Obtainthese recordsormakeplansforthemtobedeliveredtoyournew medicalfacilitiesifchanging Securityiscriticalofpersonal records

NoteFoodInventoryLevels:Checkyourcupboards, refrigeratorandfreezer Useupasmuchofyourperishable foodaspossible

SmallEngines:Servicesmallenginesforyourmoveby extractinggasandoilfromthemachines Thiswillreduce thatchancetocatchfireduringyourmove

ProtectJewelryandValuables:Transferyourjewelryand valuablestoasafetydepositbox;youdon’twantthemtobe lostorstolenduringyourmove

BorrowedandRentedItems:Returnitemsthatyoumay haveborrowedorrented Collectitemsborrowedtoothers

MOVING DAY

PlanYourItinerary:Makeplanstospendtheentiredayat thehouseoratleastuntilthemoversareontheirway

Someonewillneedtobearoundtomakedecisions Make plansforkidsandpetstobeatasittersfortheday

ReviewtheHouse:Oncethehouseisempty,checkthe entirehouse(closets,attic,basement,etc)toensureno itemsareleftornohomeissuesexist

DoubleCheckWithYourMover:Ensurethemoverhasthe newpropertyaddressandallofyourmostrecentcontact information,shouldtheyhaveanyquestionsduringyour move

VacateYourHome:Makesureutilitiesareoff,doorsand windowsarelockedandnotifyyourrealestateagentyou’ve vacatedtheproperty

QuestionsToAsk:Whereisthegaragedooropener?Where arethekeystothehouse,mailboxandotherlockablearea? Didyouretrieveallkeysfromneighborsandfriends?

THE HOME DEPOT

(800) 466-3337 wwwhomedepotcom

Beaverton (503) 469-4242 4401 SW 110th Ave Beaverton, OR 97005

S Beaverton (503) 646-1525

13700 NW Science Pk Dr Portland 97229

Clackamas (503) 774-6372

9300 SE 82nd Ave Happy Valley, OR 97086

Hillsboro (503) 693-9090

1950 SE Minter Bridge Rd Hillsboro 97123

Jantzen Beach (503) 289-9200

1728 N Tomahawk Island Dr Portland 97217

Oregon City (503) 723-3181 2002 Washington St Oregon City, OR 97045

E Portland (503) 261-8543

10120 SE Washington St Portland 97216

NE Portland (503) 252-0188

11633 NE Glen Widing Dr Portland 97220

Sherwood (503) 925-8447

20260 SW Pacific Hwy Sherwood, OR 97140

Tigard (503) 639-3500

14800 SW Sequoia Parkway Tigard 97224

MOVING RESOURCES

THE HOME DEPOT CONTINUED

Troutdale (503) 674-3944

25101 SE Stark St Troutdale, OR 97060

LOWES (800) 466-3337 wwwlowescom

Hillsboro (503) 844-6200

1951 SE 24th Ave Hillsboro, OR 97123

Milwaukie (503) 794-2500

13631 SE Johnson Rd. Milwaukie 97222

Portland (503) 737-3000

1160 N Hayden Meadows Dr Portland 97217

Tigard (503) 624-2644

12615 SW 72nd Ave Tigard, OR 97223

Wood Village (503) 667-1005

1000 NE Wood Village Blvd Wood Village, OR 97060

DONATION FACILITIES

Goodwill (800) 741-0186 locatorgoodwillorg

The Salvation Army (800) 958-7825 wwwsalvationarmyusaorg

Value Village (800) 958-7825 wwwvaluevillagecom

MOVING TRUCK RENTALS

Budget (800) 462-8343 wwwbudgettruckcom

Penske (888) 996-5415 wwwpensketruckrentalcom

Ryder (800) 297-9337 wwwrydercom

U-Haul (800) 468-4285 wwwuhaulcom

STORAGE COMPANIES

NW Self Storage wwwnwselfstorage

Public Storage (800) 906-0879 wwwpublicstoragecom

Pods (888) 309-8967 wwwpodscom

TRANSFER STATIONS Garbage/Recycling

Metro Center (503) 234-3000

wwworegonmetrogov 6161 NW 61st Ave Portland, OR 97210

Metro South (503) 234-3000

wwworegonmetrogov

2001 Washington St Oregon City, OR 97045

RESOURCE GUIDE

AIRPORT

Portland International Airport (877) 793-4690 www.flypdx.com

AUTO & DRIVER REGISTRATION

DMV (503) 945-5000 wwwodotstateorus/dmv/

BUS SERVICE

C-Tran (360) 695-0123 wwwc-trancom

Greyhound (800) 231-2222 wwwgreyhoundcom

Tri-Met (503) 238-7433 wwwtri-metorg

CABLE TV & INTERNET

Verizon (888) 881-8161 wwwverizoncom

XFINITY (Comcast) (800) 934-6489 wwwcomcastcom

CITY CONTACT

Banks (503) 324-5112 www.cityofbanks.org

Beaverton (503) 526-2222 wwwcibeavertonorus

Canby (503) 266-4021 wwwcicanbyorus

CITY CONTACT CONTINUED

Cornelius (503) 357-9112 www.ci.cornelius.or.us

Damascus (503) 658-8545

wwwcidamascusorus

Estacada (503) 630-8270 wwwcityofestacadaorg

Fairview (503) 665-7929

wwwcifairvieworus

Forest Grove (503) 359-3200 wwwciforest-groveorus

Gaston (503) 985-3340

Gladstone (503) 656-5225 wwwcigladstoneorus

Gresham (503) 661-3000 wwwcigreshamorus

Happy Valley (503) 760-3325 wwwcihappy-valleyorus

Hillsboro (503) 681-6100 wwwhillsboro-oregongov

King City (503) 639-4082

www.ci.king-city.or.us

Lake Oswego (503) 635-0270 wwwcioswegoorus

Milwaukie (503) 786-7525 wwwcicityofmilwaukieorg

CITY CONTACT CONTINUED

Molalla (503) 829-6855 wwwcityofmolallacom

North Plains (503) 647-5555 wwwnorthplainsorg

Oregon City (503) 657-0891 wwwciorcityorus

Portland (503) 823-4000 wwwportlandonlinecom

River Grove (503) 639-6919

Sandy (503) 668-5533 wwwcisandyorus

Sherwood (503) 625-5522 wwwcisherwoodorus

Tigard (503) 639-4171 wwwcitigardorus

Troutdale (503) 665-5175 wwwcitroutdaleorus

Tualatin (503) 692-2000 www.tualatinoregon.gov

West Linn (503) 657-0331 wwwwestlinnoregongov

Wilsonville (503) 682-1011 wwwciwilsonvilleorus

Wood Village (503) 667-6211 wwwciwood-village-orus

COUNTY CONTACTS

Clackamas (503) 655-8011 www.co.clackamas.or.us Taxation (503) 655-8671

Multnomah (503) 248-3511 wwwcoclackamasorus Taxation (503) 988-3326

Washington (503) 846-8611 wwwcoclackamasorus Taxation (503) 846-8741

ELECTRICITY

Pacific Power (888) 221 7070 wwwpacificpowernet

Portland General (800) 542-8818 wwwportlandgeneralcom

HOSPITALS

Adventist Medical (503) 257-2500 wwwadventisthealthnwcom

Doernbecher Children’s Hospital (503) 494-8311 wwwohsuedu

Legacy Good Samaritan (503) 413-4683 wwwlegacyhealthorg

Legacy Emanuel (503) 413-2200 www.legacyhealth.org

RESOURCE GUIDE

HOSPITALS CONTINUED

Legacy Meridian Park (503) 692-1212 www.legacyhealth.org

Legacy Mt Hood (503) 674-1122 wwwlegacyhealthorg

Kaiser Permanente Sunnyside (503) 813-2000 wwwkaiserpermanenteorg

Kaiser Permanente Westside (503) 813-2000 wwwkaiserpermanenteorg

OHSU (503) 494-8311 wwwohsuedu

Providence Milwaukie (503) 513-8300 wwwprovidenceorg

Providence Portland (503) 215-1111 www.providence.org

Providence St Vincent (503) 216-1234 wwwprovidenceorg

Providence Willamette Falls (503) 656-1631 wwwprovidenceorg

Shriner’s Hospital (503) 241-5090 wwwshrinershqorg

Tuality Community (503) 681-1111 wwwtualityorg

Tuality Forest Grove (503) 357-2173 www.tuality.org

NATURAL GAS

NW Natural (800) 422-4012 www.nwnatural.com

NEWSPAPERS

The Columbian (360) 694-3391 wwwcolumbiancom

The Oregonian (503) 221-8240 wwworegonlivecom

Willamette Weekly (503) 243-2122 wwwwweekcom

RECREATION

Convention Center (503) 235-7575 wwworegonccorg

Expo Center (503) 736-5200 wwwexpocenterorg

Mt Hood Meadows (503) 337-2222 wwwmthoodmeadowscom

OMSI (503) 797-4000 www.omsi.edu

Oregon Zoo (503) 266-1561 wwworegonzoocom

Portland International Raceway (503) 823-7223 wwwportlandracewaycom

Portland Art Museum (503) 266-2811 wwwpamorg

RESOURCE GUIDE

RECREATION CONTINUED

Providence Park (503) 553-5400 www.providenceparkpdx.com

Regal Cinemas (800) FANDANGO wwwregalcinemascom

Moda Center (503) 797-9619 wwwrosequartercom

Willamette Jetboat (503) 231-1532 wwwwillamettejetcom

SHOPPING

Bridgeport Village (503) 968-1704 www.bridgeport-village.com

Cedar Hills Crossing (503) 643-6563 wwwcedarhillscrossingcom

Clackamas Town Center (503) 653-6913 wwwclackamastowncentercom

Columbia Gorge Outlets (503) 669-8060 wwwpremiumoutletscom/ columbiagorge

Lloyd Center (503) 282-2511 wwwlloydcentercom

Mall 205 (503) 255-5805

Pioneer Place (503) 228-5800 wwwpioneerplacecom

SHOPPING CONTINUED

Streets of Tanasbourne (503) 533-0561 www.streetsoftanasbourne.com

Washington Square (503) 369-8860 wwwshopwashingtonsquarecom

Woodburn Outlets (888) 664-SHOP wwwwoodburncompanystorescom

TELEPHONE SERVICE

Verizon (800) 483-4100 wwwverizoncom

AT&T (800) 288-2020 www.att.com

TRANSFER STATIONS

Metro Center (503) 234-3000

wwworegonmetrogov 6161 NW 61st Ave Portland, OR

Metro South (503) 234-3000 wwworegonmetrogov 2001 Washington St Oregon City, OR

Clackamas County (503) 668-8885 wwwwmnorthwestcom 19600 SE Canyon Valley Rd. Sandy, OR

VOTER REGISTRATION

Clackamas (503) 655-8510

Multnomah (503) 248-3720

Washington (503) 846-5800

WATER BUREAU

Beaverton (503) 526-2257

Clackamas (503) 722-9220

Gladstone (503) 656-5223

Gresham (503) 618-2373

Hillsboro (503) 681-6228

Lake Oswego (503) 635-0265

Milwaukie (503) 786-7525

Oregon City (503) 657-8151

Portland (503) 823-7770

Tigard (503) 639-1554

Tualatin (503) 692-2000

West Linn (503) 656-4261

Wilsonville (503) 682-1011

CYBER SECURITY

g p , g being sent to an outside account and never credited to the intended party

To protect and reduce your risk, WFG has implemented the following procedures for outgoing and incoming wires:

Outgoing Wire from WFG to seller or borrower for proceeds

In the escrow paperwork provided you will be asked to provide written instructions on how you want funds due you sent to you at the close of escrow If you choose to have the funds sent via wire transfer, WFG will contact you by phone to confirm the wire information provided.

Incoming Wires from the buyer and/or lender to WFG bank account

For funds that are to be wired to WFG for your transaction, we will send specific wire instructions to the remitting person via an encrypted email. We recommend you reach out to your WFG contact to confirm the wire instructions prior to remittance.

We look forward to processing your escrow transaction for you. We know that this can be a stressful time and we are here to assist you in any way we can to make this a good experience

http://nationalwfgnationaltitlecom/2016/04/05/obsess-cyber-security/

OWNERS TITLE INSURANCE Why it's important

claims, or restrictions on the buyers property, other than the mortgage the buyer agrees to pay.

If the preliminary title search uncovers potential problems, a buyer can require that those problems be satisfactorily dealt with before closing on the home.

In addition, owner’s title insurance protects buyers against a myriad of risks that not even the most careful title search can uncover, including things such forged documents, undisclosed or missing heirs of a previous owner, fraud, will disputes, and unrecorded claims of many types.

Without owner’s title insurance, the legal costs to resolve such title claims could easily be in the tens of thousands of dollars and would have to be paid out of pocket by the buyer - not to mention the stress that such situations would cause to the buyer

Owner’s title insurance is one of the most affordable insurance policies a person can ever buy Unlike other forms of insurance, there is only a one-time fee at closing for the policy, which financially protects the buyer’s investment for as long as the buyer or the buyer’s heirs own the home.

So, if someone tells the buyer that owner’s title insurance is “optional”, that certainly does not mean that the buyer should not get it. Virtually every lender requires lender’s title insurance, but that insurance does not protect the buyer.

In order to safeguard the buyer’s investment in the property, which is possibly the most important investment the buyer will ever make, owner’s title insurance is absolutely critical.

WHAT IS ESCROW?

Both the buyer and seller rely on the escrow agent to carry out their written instructions relating to the transaction and to advise them if any of their instructions are not mutually consistent or cannot be carried out. If the instructions from all parties to an escrow are clearly drafted, the escrow officer can proceed on behalf of the buyer and seller without further consultation. This saves much time and facilitates the closing of the transaction.

TYPICAL ROLES IN THE CLOSING PROCESS

The Seller/Agent

Delivers a fully executed Purchase Sale Agreement to the escrow agent.

Executes the paperwork necessary to close the transaction

The Buyer/Agent

Deposits collected funds required to close (in with the escrow agent

Approves the commitment for title insurance, or other items as called for by the Purchase Sale Agreement

Executes the paperwork and loan documents necessary to close the transaction

The Lender

Deposits loan documents to be executed by the buyer

Deposits the loan proceeds

Directs the escrow agent of the conditions under which the loan funds may be used

The Escrow Agent

Clears Title

Obtains title insurance

Obtains payoffs and release documents for underlying loans on the property

Receives funds from the buyer and/or lender. Prepares vesting document affidavit on seller’s behalf

Prorates insurance, taxes, rents, etc

Prepares a final statement (often referred to as the “HUD Statement” or ”Settlement Statement”) for each party, indicating amounts paid in conjunction with the closing of your transaction

Forwards deed to the county for recording

Once the proper documents have been recorded, the escrow agent will distribute funds to the proper parties

In Summary

Escrow is the process that assembles and processes many of the components of a real estate transaction. The sale is officially closed when the new deed is recorded and funds are available to the seller, thus transferring ownership from the seller to the buyer

The escrow agent is a neutral third party acting on behalf of the buyer and seller.

WHAT IS TITLE?

About Title Insurance

Title is a bundle of rights in real property. Protecting purchasers and lenders against loss is accomplished by the issuance of a title insurance policy Usually, during a purchase transaction, the lender requests a policy (commonly referred to as the Lender’s Policy) while the buyers receive their own policy (commonly referred to as an Owner's Policy)

In short, the policy states that if the status of the title to a parcel of real property is other than as represented, and if the insured (either the owner or lender) suffers a loss as a result of a title defect, the insurer will reimburse the insured for that loss and any related legal expenses, up to the face amount of the policy, subject to exceptions and exclusions contained in the policy

Typically there are two policies issued. The Mortgagee’s Policy insures the lender for the amount of the loan. The Owner’s Policy insures the purchaser of the purchase price.

How is title insurance different from other types of insurance?

While the function of most other forms of insurance is risk assumption through the pooling of risks for losses arising out of unforeseen future events (such as sickness or accidents), the primary purpose of title insurance is to eliminate risks and prevent losses caused by defects in title arising out of events that have happened in the past To achieve this goal, title insurers perform an extensive search and examination of the public records to determine whether there are any adverse claims (title defects) attached to the subject property Said defects/claims are either eliminated prior to the issuance of a title policy

or their existence is excepted from coverage. Your policy is issued after the closing of your new home, for a one-time nominal fee, and is good for as long as you own the property

What’s involved in a title search? A title search is actually made up of three separate searches:

Chain of Title – History of the ownership of the subject property

Tax Search – The tax search reveals the status of the taxes and assessments

Judgment and Name Search – Searches for judgment and liens against the owners’ and purchasers’ names

Once the three searches have been completed, the file is reviewed by an examiner who determines:

Whether or not the Chain of Title shows that the party selling the property has the right to do so The status of taxes for the subject property The Tax Search will also indicate the existence of any special assessments against the land and whether or not these assessments are current or past due

Whether there are any unsatisfied judgments on the Judgment and Name Search against the previous owners, sellers, or and purchasers.

Rights established by judgment decrees, unpaid federal income taxes and mechanic liens all may be prior claims on the property, ahead of the buyer’s or lender’s rights The title search will only uncover defects in title that are of public record, thus allowing the title company to work with the seller to clear up these issues and provide the new buyer with title insurance

In Summary

After the searches have been examined, the title company will issue a commitment, stating the conditions under which it will insure title The buyer, seller and the mortgage lender will proceed with the closing of the transaction after clearing up any defects in the title that have been uncovered by the search and examination

WHO PAYS WHAT IN OREGON

SELLER PAYS

TYPICAL COSTS

The following costs generally affect all transactions:

Escrow Fee - one-half of the fee, based on title company’s fee schedule

Recording Fees - based on county fee schedule

Title Premium - based on fixed statewide fee schedule

Real Estate Commission - based on agreement with Broker

Tax Prorate - to apportion taxes between parties as of date of closing

General Costs - as listed for each specific transaction, as requested by principals

Release fees for loan payoff(s)

LAND SALE CONTRACT TRANSACTION

Attorney Fee - optional, and is sometimes shared with purchaser

Collection Escrow Setup Fee - optional, and is often shared with purchaser

ASSIGNMENT OF CONTRACT FOR ASSUMPTION OF LOAN TRANSACTION

Any delinquent payments to bring contract or loan current

Prorate share of current month’s interest based on current rate

CONVENTIONAL, FHA, VA LOAN TRANSACTIONS

Any closing cost (not expenses of property or loan interest) negotiated on behalf of the purchaser, subject to lender’s approval

FHA, VA Loans - check with lender for any applicable seller costs

BUYER PAYS

TYPICAL COSTS

The following costs generally affect all transactions:

Escrow Fee - one-half of the fee, based on title company’s fee schedule

Recording Fees - based on county fee schedule

Fire Insurance Premium - mandatory when any lender is involved, including the seller’s lender

Tax Prorate - to apportion taxes between parties as of date of closing

General Costs - as listed for each specific transaction, as requested by the principals

LAND SALE CONTRACT TRANSACTION

Attorney Fee - optional, and is sometimes shared with seller

Collection Escrow Setup Fee - optional, and is sometimes shared with seller

Recording Fee - for contract or memorandum thereof

ASSIGNMENT OF CONTRACT FOR ASSUMPTION OF LOAN TRANSACTION

Assumption or Assignment

Next monthly payment due, if required by lender

Recording Fee - for Assumption/Assignment of Agreement, if required by lender

CONVENTIONAL, FHA, VA LOAN TRANSACTIONS

Lenders title insurance policy & endorsements, as required by lender

Loan Fee - as required by lender

Credit Report Fee - as required by lender

Appraisal Fee - as required by lender

Mortgage Insurance Premium - based on fee schedule and endorsements of lender

Prepaid Interest - if required by lender

VA Loans only - funding fee, if required by lender

FHA, VA, and some Conventional Loans - reserves for real property taxes, fire insurance and mortgage insurance

TITLE VESTING

Common ways to hold title to real property

ASANINDIVIDUAL

Anindividualmayholdtitleinhisorhernameonly,regardlessofwhetherornotmarried–eg “JaneSmith,an individual” Thatindividualthenownsallrightstotheproperty,whichcanbesoldortransferredtoothersviawill ortrust Whileadivorceispending,however,ifthepropertywasacquiredduringthemarriageitwilllikelybe treatedaspartofthemaritalestateandthusbesubjecttocourtauthority.

ASTENANTSBYTHEENTIRETY

Aconveyancetoahusbandandwifecreatesatenancybytheentirety–eg “JohnSmithandJaneSmith, husbandandwife,astenantsbytheentirety” Thiscreatesasurvivorshipestate,whichmeansthatifonespouse dies,his/herinterestwillautomaticallygotothesurvivingspouse.Ahusbandandwifemayalsotaketitleas tenantsincommon(discussedbelow)iftheintentiontoholdtitleinthatmannerisexpresslystated

ASTENANTSINCOMMON

Unlessaconveyanceexpresslyprovidesthatthepartiesintendtocreateasurvivorshipestate(discussedbelow), aconveyancetotwoormorepersonswhoarenotmarriedcreatesatenancyincommoninwhicheachhas (unlessotherwisestated)anequalundividedinterestintheproperty–eg “JohnSmithandRobertJones,as tenantsincommon,eachastoanundivided50%interest” Eachtenantincommonthenownsanundivided interestintheentireproperty,whichcanbesoldortransferredtoothersviawillortrust

ASASURVIVORSHIPESTATE

Twoormorepersonswhoarenotmarriedmayalsoholdtitleastenantsincommonwitharightofsurvivorship, aslongasthesurvivorshipdeclarationisexpresslycontainedinthedeed–eg “JohnSmithandRobertJones, notastenantsincommon,butwiththerightofsurvivorship” Thiscreatesasurvivorshipestate,whichmeans thatifonepartydies,his/herinterestwillautomaticallygotothesurvivorandcannotbesoldduringthelifetime ofortransferredviawillortrustbythepartywhodiesfirst

ASREGISTEREDDOMESTICPARTNERS

Registereddomesticpartnersmaytaketitleas(i)tenantsincommon–e.g.“JaneSmithandMaryJones, registereddomesticpartners,astenantsincommon,eachastoanundivided50%interest”,or(ii)ina survivorshipestatesimilartothatofatenancybytheentirety–eg “JaneSmithandMaryJones,asregistered domesticpartnerswithrightofsurvivorship”

ASASAMESEXMARRIEDCOUPLE

Samesexmarriedcouplesmaytaketitleas(i)tenantsincommon–eg “JohnSmithandRobertSmith,a marriedcouple,astenantsincommon,eachastoanundivided50%interest”,or(ii)inasurvivorshipestate similartothatofatenancybytheentirety–eg JohnSmithandRobertSmith,amarriedcouplewithrightof survivorship,or(iii)astenantsbytheentirety–eg “JohnSmithandRobertSmith,amarriedcouple,astenants bytheentirety”.

ASANENTITY

Aregisteredentity,suchasacorporation,limitedliabilitycompanyorpartnership,mayholdtitle Titleshouldbe heldexactlyasthenameisregisteredwiththeOregonSecretaryofState–e.g.“Smith&Jones,LLC,anOregon limitedliabilitycompany”

DISCLAIMER–Theforegoingcontainsinformationalexamplesonlyandisnottobeconstruedaslegaladvice Giventhecomplexitiesinvolvedinacquiringandholding legaltitletorealproperty,WFGstronglyrecommendsthatyouseeklegaladvicefromanattorneypriortodoingso

ADMINISTRATIVE

12909 SW 68th Pkwy Ste. 350 Portland, OR 97223 503-431-8500

CLACKAMAS

9200 SE Sunnybrook Blvd Ste 350 Clackamas, OR 97015 503-353-9975

LAKE OSWEGO

5885 Meadows Rd. Ste 130 Lake Oswego, OR 97035 503-624-4900

LLOYD/COMMERCIAL

NW PORTLAND 25 NW 23rd Pl Ste. 1 Portland, OR 97210 503-219-9088

BETHANY 1500 NW Bethany Blvd Ste 155 Beaverton, OR 97006 503-850-3990

DOWNTOWN VANCOUVER 2001 SE Columbia River Dr Ste. 100 Vancouver, WA 98661 360-314-0300

SALMON CREEK

2105 NE 129th St Ste 107 Vancouver, WA 98686 360-314-1818

VANCOUVER MALL

5101 NE 82nd Ave. Ste 240 Vancouver, WA 98662 360-891-5454

EAST VANCOUVER 2004 SE 192nd Ave Ste 100 Vancouver, WA 98683 360-356-9990 1 2 3 5 6 7 8 9 4 10

700 NE Multnomah St Ste 190 Portland, OR 97232 503-230-8488

Your Local Market Report

Tigard, OR 97224

REPORT FOR 1/29/2025

Single-Family Homes

This week the median list price for Tigard, OR 97224 is $798,842 with the market action index hovering around 37. This is an increase over last month's market action index of 35 Inventory has decreased to 44

Market Action Index

This answers “How’s the Market?” by comparing rate of sales versus inventory

Real-Time Market Profile

Price of New Listings

Seller's Advantage

Market Narrative

Home sales continue to outstrip supply and the Market Action Index has been moving higher for several weeks This is a Seller’s market so watch for upward pricing pressure in the near future if the trend continues

Market Segments

Slight Seller's Advantage

Each segment below represents approximately 25% of the market ordered by price

Median List Price

Prices in this zip code seem to have settled around a plateau. Look for a persistent down-shift in the Market Action Index before we see prices deviate from these levels.

Segments

In the quartile market segments, we see prices in this zip code have settled at a price plateau across the board. Prices in all four quartiles are basically mixed. Look for a persistent shift (up or down) in the Market Action Index before prices move from these current levels.

Price Per Square Foot

The market plateau is seen across the price and value. The price per square foot and median list price have both been reasonably stagnant. Watch the Market Action Index for persistent changes as a leading indicator before the market moves from these levels.

Inventory

Inventory has been falling in recent weeks. Note that declining inventory alone does not signal a strengthening market. Look to the Market Action Index and Days on Market trends to gauge whether buyer interest is changing with the available supply.

Market Action Index

Home sales continue to outstrip supply and the Market Action Index has been moving higher for several weeks. This is a Seller’s market so watch for upward pricing pressure in the near future if the trend continues.

Market Action Segments

Not surprisingly, all segments in this zip code are showing high levels of demand. Watch the quartiles for changes before the whole market changes. Often one end of the market (e.g. the highend) will weaken before the rest of the market and signal a slowdown for the whole group.

Median Days on Market (DOM)

The properties have been on the market for an average of 177 days. Half of the listings have come newly on the market in the past 136 or so days. Watch the 90-day DOM trend for signals of a changing market.

Segments

It is not uncommon for the higher priced homes in an area to take longer to sell than those in the lower quartiles.

Instant access to

WFG’s MyHome® provides full transparency, real-time updates, and post-closing home information in a secure built with YOU in mind.

Contact information for

Sign up for an account at https://myhome.wfgtitle.com today!

Click Register for MyHome® account on a MyHome® email to https://myhome. wfgtitle.com

Complete a brief registration form. Use your email address on immediate access.

via text, email, or

for your transaction

your escrow team

CONSUMER EXPERIENCE TIMELINE

TRANSACTION CLOSED

GATHER UP

SIGNING SCHEDULED

CLOSE TO SIGNING

TITLE CLEARED

UPDATER INVITATION

TITLE REPORT DELIVERED

TRANSACTION STARTED

MIDPOINT FEEDBACK

EARNEST MONEY

Turn static files into dynamic content formats.

Create a flipbook
Issuu converts static files into: digital portfolios, online yearbooks, online catalogs, digital photo albums and more. Sign up and create your flipbook.