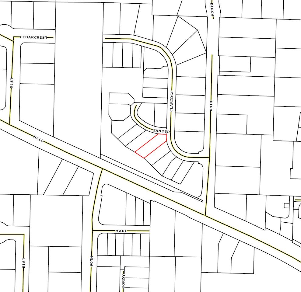
9407 SW Claridge Dr-HP

Page 1


SCAN HERE

PROPERTY ADDRESS

9407 SW CLARIDGE DR PORTLAND, OR 97223

OWNER INFORMATION

OWNER NAME: Carlin, Launie & Carlin, Dorothy M Estate Of & Carlin, Kevin

VESTING:

MAILING ADDRESS: 9407 SW Claridge Dr Tigard OR 97223

OWNER STATUS: Owner occupied

LOCATION DESCRIPTION

COUNTY: Washington

CENSUS / BLOCK: 030502 / 2002

TSP - RNG - SEC: 01S - 01W - 26

LOT / BLOCK: 27 /

HOUSING TRACT: Claridge Court

ALT PARCEL #: R2032816

SCHOOL DISTRICT: Tigard-Tualatin

MUNICIPALITY: Portland PARCEL #: R2032816

LAST MARKET SALE PRIOR SALE

DATE: 05/14/1999 DATE: 05/02/1995

DOCUMENT #: DOCUMENT #: 30526

DOC TYPE: Deed

PROPERTY ADDRESS

9407 SW CLARIDGE DR

PORTLAND, OR 97223 3

PROPERTY CHARACTERISTICS

GROSS AREA: 2,053

LIVING AREA: ABOVE GRADE:

BEDROOMS: 3

BATHROOMS: 3

FIREPLACE: 1

YEAR BUILT: 1995

PARKING TYPE: Attached Garage

UNITS:

BASEMENT:

GARAGE AREA: 473

ROOF SHAPE:

FOUNDATION: 01

ROOF MATERIAL: Composition Shingle

CONSTRUCTIONS: Wood

HEAT TYPE: Yes

COOLING TYPE:

EXTERIOR WALL: Wood

ROOMS:

QUALITY:

INTERIOR WALL:

PORCH TYPE:

PATIO TYPE:

AIR COND: Y

FIXTURES: FLOOR:

EQUIPMENT:

STORIES: POOL:

CONDITION: Average

PROPERTY INFORMATION

LAND USE: Residential Improved

ZONING: Attached/Detatched Resident

COUNTY USE: Residence Single Family

LOT ACRES: 0.1

STATE USE: LOT SQ FT: 4,356

LEN / WID:

TAXES AND ASSESSMENT INFORMATION

ASSD YEAR: 2024

ASSD VALUE: $324,540

TAXABLE VAL:

TAX YEAR: 2024

LAND VALUE: $229,780

MKT VALUE: $465,470

TAX AREA: 23.64

IMP VALUE: $235,690

EXEMPTIONS:

PROPERTY TAX: $5,366.62

IMPROVED %: 51

DISTRICT:

PROPERTY ADDRESS

9407 SW CLARIDGE DR

FEMALE POPULATION | 55,021

A S S E S S O R M A P

S T R E E T

A E R I A L M A P

CITY BOUNDARY MAP

Tigard-Tualatin School District

ELEMENTARY SCHOOLS

NAME: Metzger Elementary School

CHARTER SCHOOL: No

ADDRESS: 10350 Sw Lincoln St MAGNET SCHOOL: CITY, STATE, ZIP: Tigard, OR 97223

PHONE: (503)431-4600

DESCRIPTION: 13-City: Small

0.47 mile(s)

GRADES: Prekindergarten - 5th Grade TITLE ONE: 1-Yes

NAME: Mckay Elementary School

ADDRESS: 7485 Sw Scholls Ferry Rd

CITY, STATE, ZIP: Beaverton, OR 97008

PHONE: (503)356-2170

CHARTER SCHOOL: No

DESCRIPTION: 13-City: Small

1.06 mile(s)

GRADES: Prekindergarten - 5th Grade TITLE ONE: 1-Yes

MIDDLE SCHOOLS

NAME: Whitford Middle School

CHARTER SCHOOL: No

ADDRESS: 7935 Sw Scholls Ferry Rd MAGNET SCHOOL:

CITY, STATE, ZIP: Beaverton, OR 97008

DESCRIPTION: 13-City: Small

PHONE: (503)356-2700 DISTANCE: 1 02 mile(s)

GRADES: 6th Grade - 8th Grade

NAME: Thomas R Fowler Middle School

ADDRESS: 10865 Sw Walnut St

ONE: 2-No

CHARTER SCHOOL: No

SCHOOL: CITY, STATE, ZIP: Tigard, OR 97223

PHONE: (503)431-5000

GRADES: 6th Grade - 8th Grade

HIGH SCHOOLS

NAME: Southridge High School

ADDRESS: 9625 Sw 125Th Ave

DESCRIPTION: 13-City: Small

1.72 mile(s)

ONE: 2-No

CHARTER SCHOOL: No

SCHOOL: CITY, STATE, ZIP: Beaverton, OR 97008

PHONE: (503)356-2890

GRADES: 9th Grade - 12th Grade

NAME: Tigard High School

ADDRESS: 9000 Sw Durham Rd

1.90 mile(s)

ONE: 2-No

CHARTER SCHOOL: No

SCHOOL: CITY, STATE, ZIP: Tigard, OR 97224

DESCRIPTION: 13-City: Small

PHONE: (503)431-5400 DISTANCE: 3 36 mile(s)

GRADES: 9th Grade - 12th Grade

ONE: 2-No

Students We Serve

OREGON AT-A-GLANCE DISTRICT PROFILE

Tigard-Tualatin SD 23J

SUPERINTENDENT: Iton-Etok O Udosenata | 6960 SW Sandburg St, Tigard 97223 | 503-431-4000

Academic Success

Students

2023-24

Grade 3 ENGLISH LANGUAGE ARTS

Students

Students

High School Success

ON-TIME GRADUATION

Students

Cohort

Students

District Goals

TTSD’s Mission is to Educate Every Child. We do this with a dedication to Student Achievement, Equity, Talent, and Climate & Culture. These values guide our delivery of inclusive, culturally specific instruction and our belief in the success of every student. We work collectively guided by data to meet the individual academic needs of our students and to provide the social and emotional supports that remove barriers to achievement.

State Goals

The Oregon Department of Education is collaborating with school districts and communities across the state to achieve a 90% on-time graduation rate by 2027. Grounded in the pillars of Academic Excellence, Belonging and Wellness, and Reimagined Accountability, ODE prioritizes evidence-based practices to boost early literacy, attendance, and student engagement. We are committed to closing opportunity and achievement gaps for marginalized students and securing long-term success for all of Oregon’s learners by investing in culturally responsive practices, fostering inclusive environments and always driving for continuous improvement.

Our Staff (rounded FTE)

OREGON AT-A-GLANCE DISTRICT PROFILE

Tigard-Tualatin SD 23J

Outcomes

TO GRADUATE

ON-TIME GRADUATION

Students We Serve

OREGON AT-A-GLANCE SCHOOL PROFILE

Metzger Elementary School

PRINCIPAL: Jessica Swindle | GRADES: K-5 | 10350 SW Lincoln St, Tigard 97223 | 503-431-4600

2023-24

REGULAR ATTENDERS

Students

School Goals

Metzger is a bilingual community with English and Spanish Learning tracks. Dedicated to the delivery of inclusive, culturally specific instruction and our belief in the success of every student. We work collectively guided by data to meet the individual academic needs of our students and to provide the social and emotional supports that remove barriers to achievement. We foster strong systems of teacher collaboration and leverage our 1:1 technology to benefit every student.

MATHEMATICS

State Goals

The Oregon Department of Education is collaborating with school districts and communities across the state to achieve a 90% ontime graduation rate by 2027. Grounded in the pillars of Academic Excellence, Belonging and Wellness, and Reimagined Accountability, ODE prioritizes evidence-based practices to boost early literacy, attendance, and student engagement. We are committed to closing opportunity and achievement gaps for marginalized students and securing long-term success for all of Oregon’s learners by investing in culturally responsive practices, fostering inclusive environments and always driving for continuous improvement.

Safe & Welcoming Environment

TTSD continuously evaluates and responds to the needs of our ever-changing world and specifically our student population. We hold an uncompromised commitment to the safety and well-being of our students and staff, and maintaining a safe, inclusive, respectful, and rigorous learning environment. Our goal is for all students to feel physically and emotionally safe and respected. We are led by Board policies dedicated to protecting all students, staff, and families from discrimination, bias, hate, and harassment.

Our Staff (rounded FTE)

OREGON AT-A-GLANCE SCHOOL PROFILE

Metzger Elementary School

Outcomes

REGULAR ATTENDERS

ENGLISH LANGUAGE ARTS

About Our School

BULLYING, HARASSMENT, AND SAFETY POLICIES

We are committed to fostering a school environment that is free from hazing, harassment, intimidation, racism, bullying, cyberbullying, menacing, or any threat to personal safety or race/national origin discrimination. This commitment is mandated by Board policy and reinforced by our student handbook. TTSD students have the responsibility to respect the rights of others, seek help when they know about a wrongful act, and resolve disputes peacefully. We teach anti-bullying and antihate lessons and provide professional supports around social, emotional, and behavioral health.

EXTRACURRICULAR ACTIVITIES

· Art Literacy including diverse, local, living artists

· After school clubs including chess, music, drama, gardening, and more

· Student Leadership Groups

· Two Way Spanish Immersion program

· Bike and Pedestrian Safety training

PARENT ENGAGEMENT

TTSD creates collaborative, culturally responsive relationships with all families. Communication is delivered in a variety of ways to ensure parents are informed and engaged in their students’ learning and school environment. We welcome parent volunteers in our classrooms and school. Dedicated staff work with our families to serve the needs of each of our students. All major decisions that impact our students are made in partnership with our students and families.

COMMUNITY ENGAGEMENT

The TTSD community has a long and proven history of support for education and their schools. We work every day to steward that support by preparing our students for success in school and life. Our district strives to provide world-class experiences exposing our students to innovative learning in state-of-the-art buildings delivered by best-in-class teachers. We recognize that we can only do this work in partnership with our community. We are grateful for the lifechanging assistance we receive from our volunteers, businesses, civic groups, faith communities, and countless others.

Students We Serve

OREGON AT-A-GLANCE SCHOOL PROFILE

Thomas R Fowler Middle School

PRINCIPAL: Cindy Pellicci | GRADES: 6-8 | 10865 SW Walnut St, Tigard 97223 | 503-431-5000

2023-24

REGULAR ATTENDERS

Students

School Goals

Fowler's mission is to develop well-rounded students who take responsibility for their education and are academically prepared for high school. We believe building positive relationships with our students is the foundation for academic success. We are dedicated to fostering an inclusive learning community that values all voices and celebrates kindness and equitable outcomes for all students. Our instructional focus is based on common formative assessment and using data to create individualized plans for every student.

MATHEMATICS

State Goals

The Oregon Department of Education is collaborating with school districts and communities across the state to achieve a 90% ontime graduation rate by 2027. Grounded in the pillars of Academic Excellence, Belonging and Wellness, and Reimagined Accountability, ODE prioritizes evidence-based practices to boost early literacy, attendance, and student engagement. We are committed to closing opportunity and achievement gaps for marginalized students and securing long-term success for all of Oregon’s learners by investing in culturally responsive practices, fostering inclusive environments and always driving for continuous improvement.

Safe & Welcoming Environment

TTSD continuously evaluates and responds to the needs of our ever-changing world and specifically our student population. We hold an uncompromised commitment to the safety and well-being of our students and staff, and maintaining a safe, inclusive, respectful, and rigorous learning environment. Our goal is for all students to feel physically and emotionally safe and respected. We are led by Board policies dedicated to protecting all students, staff, and families from discrimination, bias, hate, and harassment.

Our Staff (rounded FTE)

OREGON AT-A-GLANCE SCHOOL PROFILE

Thomas R Fowler Middle School

Outcomes

REGULAR ATTENDERS

ENGLISH LANGUAGE ARTS

About Our School

BULLYING, HARASSMENT, AND SAFETY POLICIES

We are committed to fostering a school environment that is free from hazing, harassment, intimidation, racism, bullying, cyberbullying, menacing, or any threat to personal safety or race/national origin discrimination. This commitment is mandated by Board policy and reinforced by our student handbook. TTSD students have the responsibility to respect the rights of others, seek help when they know about a wrongful act, and resolve disputes peacefully. We teach anti-bullying and antihate lessons and provide professional supports around social, emotional, and behavioral health.

EXTRACURRICULAR ACTIVITIES

· 30% of students participate in extracurricular activities including: Soccer, Basketball, Tennis, Track, Dance, Computers, Chess, Homework Club, Gaming Club, Community Service, Band, Art, Affinity Groups, Technology clubs, Intercambio, Drama Club, Leadership, Oregon Battle of the Books, Dodgeball, Juggling, Volleyball and more!

· Affinity/Alliance Groups

· No Place for Hate Club

· Band, Choir, and Drama

· AVID

· Intercambio

PARENT ENGAGEMENT

TTSD creates collaborative, culturally responsive relationships with all families. Communication is delivered in a variety of ways to ensure parents are informed and engaged in their students’ learning and school environment. We welcome parent volunteers in our classrooms and school. Dedicated staff work with our families to serve the needs of each of our students. All major decisions that impact our students are made in partnership with our students and families.

COMMUNITY ENGAGEMENT

The TTSD community has a long and proven history of support for education and their schools. We work every day to steward that support by preparing our students for success in school and life. Our district strives to provide world-class experiences exposing our students to innovative learning in state-of-the-art buildings delivered by best-in-class teachers. We recognize that we can only do this work in partnership with our community. We are grateful for the lifechanging assistance we receive from our volunteers, businesses, civic groups, faith communities, and countless others.

Students We Serve

OREGON AT-A-GLANCE SCHOOL PROFILE

Tigard High School

PRINCIPAL: Melissa Baran | GRADES: 9-12 | 9000 SW Durham Rd, Tigard 97224 | 503-431-5400

REGULAR ATTENDERS

Students

2023-24

Students

a

within four years. Cohort

ninth graders in 2019-20 graduating in 2022-23

FIVE-YEAR COMPLETION

Students earning a high school diploma or GED within five years. Cohort Includes students who were firsttime ninth graders in 2018-19 finishing in 2022-23

COLLEGE GOING

Students enrolling in a two or four year college within 12 months of completing high school in 202122. Data from the National Student Clearinghouse.

Tigard High School is focused on establishing a culture of care and belonging within our school communities serving as the foundation for rigorous and meaningful teaching and learning. Student discourse, agency, and collaborative discussions are used to deepen critical thinking, collaboration, and communication skills. We have systems in place to ensure students are on track with credit attainment. All students receive mentorship to support the development and implementation of their high school and beyond plans.

State Goals

The Oregon Department of Education is collaborating with school districts and communities across the state to achieve a 90% ontime graduation rate by 2027. Grounded in the pillars of Academic Excellence, Belonging and Wellness, and Reimagined Accountability, ODE prioritizes evidence-based practices to boost early literacy, attendance, and student engagement. We are committed to closing opportunity and achievement gaps for marginalized students and securing long-term success for all of Oregon’s learners by investing in culturally responsive practices, fostering inclusive environments and always driving for continuous improvement.

Safe & Welcoming Environment

TTSD continuously evaluates and responds to the needs of our ever-changing world and specifically our student population. We hold an uncompromised commitment to the safety and well-being of our students and staff, and maintaining a safe, inclusive, respectful, and rigorous learning environment. Our goal is for all students to feel physically and emotionally safe and respected. We are led by Board policies dedicated to protecting all students, staff, and families from discrimination, bias, hate, and harassment.

Our Staff (rounded FTE)

OREGON AT-A-GLANCE SCHOOL PROFILE

Tigard High School

Outcomes

REGULAR ATTENDERS

TO GRADUATE

About Our School

ADVANCED COURSEWORK

· International Baccalaureate Program

· College Credit Bearing Courses

· Portland Community College Partnership

· AVID

· Two-Way Immersion (Spanish)

· Career and Technical Education Pathways

CAREER & TECHNICAL EDUCATION

· Audiovisual Communications Technologies

· Elementary Education and Teaching

· Computer Engineering Technology

· Automotive Mechanics Technology

· Marketing/Marketing Management

· Computer Technology

· Accounting and Finance

· Construction Technology

EXTRACURRICULAR ACTIVITIES

· 17 Interscholastic Sports

· 30 Academic and Service Clubs

· Robotics, National Honors Society, and Performing Arts

· After school tutoring also occurs four days a week

· HOSA Future Health Professionals

· MeCha

· Black Student Union

· Pacific Islander Club

· Student Affinity Groups

PARENT & COMMUNITY ENGAGEMENT

TTSD creates collaborative, culturally responsive relationships with all families. Communication is delivered in a variety of ways to ensure parents are informed and engaged in their students’ learning and school environment. We welcome parent volunteers in our classrooms and school. Dedicated staff work with our families to serve the needs of each of our students. All major decisions that impact our students are made in partnership with our students and families.

652,503 $40,146 35 49.54% 50.46%

 Portland

 David Douglas

 Reynolds

HOUSING

Centennial

Parkrose

Riverdale

 53.75% of homes owner occupied

 46.25% of homes rented

POPULATION DENSITY

 4,375.2 inhabitants per sq. mile

 265,439 housing units at an average density of 1,989.4 per square mile

HISTORY

AGE DEMOGRAPHIC

 21.1% under age 18

 10.3% between ages 18 to 24

 34.7% between ages 25 to 44

 22.4% between ages 45 to 64

 11.6% above age 65

CITY QUICK FACTS

 Largest city in Oregon

 145 square miles

 50 feet elevation  25th most populous city in the US

METRO AREA BASE MAP

Belle Brows & Beauty (Threading) - Washington Square Mall (Near Dick's Sporting Goods)

L O C A L B U S I N

L O C A L B U S I N E S S E S

L

Urgent Care

Columbia Clinic Urgent Care - Tigard, OR 9735 SW Shady Ln #100, Tigard, OR 97223, USA (503) 966-2322

AFC Urgent Care Tigard

Providence Medical Group - Scholls Immediate Care

Movie Theater

Regal Bridgeport Village ScreenX & IMAX 7329 SW Bridgeport Rd, Tigard, OR 97224, USA (844) 462-7342

L

L O C A L B U S I N E S S E S

Rose City Barbell 9385 SW Greenburg Rd #100, Portland, OR 97223, USA (503) 784-0061

Crunch FitnessBeaverton 8585 SW Cascade Ave, Beaverton, OR 97008, USA (503) 227-8624

Spot Sports Bar & Grill 8705 SW Locust St, Tigard, OR 97223, USA (503)

Pub

Thirsty Lion Gastropub and Grill

Today

SW Greenburg Rd #100, Tigard, OR 97223, USA (503)

85C Bakery CafePortland 9753 SW Washington Square Rd #D02, Tigard, OR 97223, USA (503)

Nordstrom Ebar Artisan

SW Washington Square Rd, Tigard, OR 97223, USA (503)

Ray2ZCooking

L O C A L B U S I N E S S E S

8045 SW Nimbus Ave #12A, Beaverton, OR 97008, USA (805) 387-8338 0.72 miles

Stella's Kitchen

12125 SW Allen Blvd #4720, Beaverton, OR 97005, USA (971) 361-9925 1 45 miles MISTER BITTEN, LLC 8172 SW Durham Rd, Tigard, OR 97224, USA (971) 864-6917

Dream Dinners 1800 NW 169th Pl A400, Beaverton, OR 97006, USA (503) 614-8800

85C Bakery CafePortland 9753 SW Washington Square Rd #D02, Tigard, OR 97223, USA (503) 352-4600 0.39 miles

Franz Bakery Outlet

10840 SW Cascade Ave, Tigard, OR 97223, USA (503) 639-6806 0.53 miles

Good Cake Bakery 12085 SW Hall Blvd #130, Tigard, OR 97223, USA (503) 810-9369 0 84

Beard Papa's 10500 SW Beaverton Hillsdale Hwy, Beaverton, OR 97005, USA (503) 924-1101 1 53 miles

Broder Söder

Sushi Hana

8800 SW Oleson Rd, Portland, OR 97223, USA (971) 373-8762 0 19 miles

9009 SW Hall Blvd # 142, Tigard, OR 97223, USA (503) 598-8083 0 29 miles

Stripes -All American Food 9607 SW Washington Square Rd, Tigard, OR 97223, USA 0

Thirsty Lion Gastropub and Grill

10205 SW Washington Square Rd, Tigard, OR 97223, USA (503) 352-4030 0.37 miles

L

U

L O C A L B U S I N

L

Shoe Store

L B U

Emergency Police/Medical/Fire 911

Poison Control (800) 222-1222 www.aapcc.org

United States Postal Service (800) 275-8777 www.usps.com

Xfinity (800) 266-2278 www.xfinity.com

Ziply Fiber (866) 699-4759 www.ziplyfiber.com

Verizon (800) 483-4100 www.verizon.com

AT&T (800) 288-2020 www.att.com

CenturyLink (866) 963-6665 www.centurylink.com

Dish Network (800) 318-0572 www.dish.com

DIRECT TV (800) 531-5000 www.directtv.com

The Oregonian (503) 221-8240 www.oregonlive.com

TRI-MET (503) 238-7433 www.trimet.org

Northwest Natural Gas (800) 422-4012 www.nwnatural.com

Portland General Electric (503) 228-6322 www.portlandgeneral.com

Tualatin Valley Water District (503) 642-1511 www.tvwd.org

Clean Water Services Sewer (503) 681-3600 www.cleanwaterservices.org

Waste Management (800) 808-5901 www.wm.com

Tigard/Tualatin School District (503) 431-4000 www.ttsdschools.org

CHANGE OF ADDRESS

USPS

Below is the website if you would like to change your address online or you can visit your local post office, they will provide you with the change of address packet. https://moversguide.usps.com

Benefits you will receive when you change your address online are:

Exclusive mover savings coupons

Safe and secure with identity verification by a simple $1.00 charge to your credit or debit card

Email confirmation at the end of registration of your change of address

* Must have valid email address and credit card to register online.

AUTO REGISTRATION AND DRIVER LICENSING

Below is the website if you would like to change your address online or you can visit your local DMV office.

Oregon Department of Transportation DMV Services 1905 Lana Avenue NE Salem, OR 97314-0100

www.oregondmv.com/oregon/index.htm

General DMV Information Contact: 503-299-9999

VOTERS REGISTRTION

TO REGISTER TO VOTE, YOU MUST BE:

A citizen of the USA

A resident of Oregon

A Legal Resident of Oregon State at least 18 years of age on or before the next election.

HOW TO REGISTER

To register to vote online you will need an Oregon driver's license, permit or ID card number issued by the Oregon Driver and Motor Vehicle Services Division (DMV).

If you do not have an Oregon driver's license, permit or ID card, you can still use the online voter registration application. The information you enter will display on a voter registration card (PDF document) that you will need to print, sign and deliver to your county elections office to complete your registration.

REGISTRATION DEADLINE

A new registrant must submit their online registration by 11:59:59 p.m. Pacific Time on the 21st calendar day before an election to be eligible to vote in that election.

CHANGE OF ADDRESS

If you move to a new county, you must complete a new voter registration, otherwise you must request a transfer of your registration.

Clackamas County Voter Registration: 503-655-8510

Multnomah County Voter Registration: 503-988-3720

Washington County Voter Registration: 503-846-5800

MOVING CHECKLIST

UTILITIES

Electric

NWNaturalGas

WaterDistrict

SewerDistrict

GarbageProvider

Cable/Satellite Fuel(Propane)

PhoneServices

Internet

FINANCIAL

BanksandCreditUnions

CreditCardCompanies (includingdepartmentstorecreditcards)

Lenders

(Mortgage,HomeEquity,Auto,StudentLoans)

InsuranceCompanies

(Health,Renters,Auto,Home,Medical,Dental,Disability,Life)

Retirement

(Pensionplans,401K,SocialSecurity,VeteransAffairs)

Investments(InvestmentAgenciesandBrokers)

OnlineBillPayer

Paypal

GOVERNMENT

USPostOffice

DepartmentofMotorVehicles

(Obtainyourdriver’slicenseandchangevehicleregistration)

IRS

PassportOffice

VeteranAffairs

UnemploymentOffice

(Ifyouarecurrentlyreceivingunemploymentbenefits)

HEALTH

Physician

Pharmacies

SERVICE PROVIDER

Childcare

Housecleaning Services

Delivery Services

Lawn Care Services

Veterinarian

Pool Service

MEMBERSHIPS

Health Clubs

Membership Clubs(AAA or similar)

Community Groups (PTA, Neighborhood Associations, Civic Clubs)

Children’s Extracurricular

Activities (Dance Classes, Music Lesson, Sports Clubs)

SUBSCRIPTIONS

Newspapers

Magazine(USPS will only forward 2 months)

Movie Subscriptions

Book or Music Clubs

OTHER

Friends and Family

Employers (typically notify the HR Department)

MOVING CHECKLIST

8

8 WEEK BEFORE YOU MOVE

InventorySheets:Createaninventorysheetofallyour belongingswhichneedtobemoved ResearchMovingOptions:You’llneedtodecideifyoursisa do-it-yourselfmoveorifyou’llbeusingamovingcompany. RequestMovingQuote:Solicitmovingquotesfromasmany movingcompaniesandmoversaspossible.Therecanbea largedifferencebetweenratesandserviceswithinmoving companies.

DiscardUnnecessaryItems:Movingisagreattimefor riddingyourselfofunnecessaryitems.Haveayardsaleor donateunnecessaryitemstocharity.

PackingMaterial:Gathermovingboxesandpacking materialforyourmove.

ContactInsuranceCompanies:You’llneedtocontactyour insuranceagenttocancel/transferyourinsurancepolicy.

1 WEEK BEFORE YOU MOVE

YourChangeofAddress:Changeyouraddresswiththe USPS,DMV,FinancialInstitutions,Utilities,Government Offices,HealthCareServiceProviders,Memberships, SubscriptionsandInsuranceProvisions.

BankAccounts:Transferorclosebankaccountsifchanging banks.Makesuretohaveamoneyorderforpayingthe movingcompany.

ServiceAutomobiles:Ifautomobilesaretobedrivenlong distance,you’llwanttohavethemservicedsoyouhavea trouble-freedrive.

CancelServices:Notifyanyremainingserviceproviders (newspapers,lawnservices,etc.)ofyourmove.

TravelItems:Setasideallitemsyou’llneedwhiletraveling. Makesurethesearenotpackedonthemovingtruck.. ContactUtilityCompanies:Setutilityturnoffdate,seek refundsanddepositsandnotifythemofyournewaddress.

4 WEEK BEFORE YOU MOVE

StartPacking:Beginpackingallthingsdestinedforyournew location.

ObtainYourMedicalRecords:Contactyourdoctor,physician, dentistandothermedicalspecialistswhomaycurrentlybe retaininganyofyourfamily’smedicalrecords.Obtainthese recordsormakeplansforthemtobedeliveredtoyournew medicalfacilitiesifchanging.Securityiscriticalofpersonal records.

NoteFoodInventoryLevels:Checkyourcupboards, refrigeratorandfreezer.Useupasmuchofyourperishable foodaspossible.

SmallEngines:Servicesmallenginesforyourmoveby extractinggasandoilfromthemachines.Thiswillreduce thatchancetocatchfireduringyourmove.

ProtectJewelryandValuables:Transferyourjewelryand valuablestoasafetydepositbox;youdon’twantthemtobe lostorstolenduringyourmove.

BorrowedandRentedItems:Returnitemsthatyoumay haveborrowedorrented.Collectitemsborrowedtoothers.

MOVING DAY

PlanYourItinerary:Makeplanstospendtheentiredayat thehouseoratleastuntilthemoversareontheirway. Someonewillneedtobearoundtomakedecisions.Make plansforkidsandpetstobeatasittersfortheday.

ReviewtheHouse:Oncethehouseisempty,checkthe entirehouse(closets,attic,basement,etc.)toensureno itemsareleftornohomeissuesexist.

DoubleCheckWithYourMover:Ensurethemoverhasthe newpropertyaddressandallofyourmostrecentcontact information,shouldtheyhaveanyquestionsduringyour move.

VacateYourHome:Makesureutilitiesareoff,doorsand windowsarelockedandnotifyyourrealestateagentyou’ve vacatedtheproperty.

QuestionsToAsk:Whereisthegaragedooropener?Where arethekeystothehouse,mailboxandotherlockablearea? Didyouretrieveallkeysfromneighborsandfriends?

THE HOME DEPOT (800) 466-3337 www.homedepot.com

Beaverton (503) 469-4242 4401 SW 110th Ave. Beaverton, OR 97005

S. Beaverton (503) 646-1525

13700 NW Science Pk. Dr. Portland 97229

Clackamas (503) 774-6372

9300 SE 82nd Ave. Happy Valley, OR 97086

Hillsboro (503) 693-9090

1950 SE Minter Bridge Rd. Hillsboro 97123

Jantzen Beach (503) 289-9200

1728 N Tomahawk Island Dr. Portland 97217

Oregon City (503) 723-3181

2002 Washington St. Oregon City, OR 97045

E. Portland (503) 261-8543

10120 SE Washington St. Portland 97216

NE Portland (503) 252-0188

11633 NE Glen Widing Dr. Portland 97220

Sherwood (503) 925-8447

20260 SW Pacific Hwy. Sherwood, OR 97140

Tigard (503) 639-3500

14800 SW Sequoia Parkway Tigard 97224

MOVING RESOURCES

THE HOME DEPOT CONTINUED

Troutdale (503) 674-3944

25101 SE Stark St. Troutdale, OR 97060

LOWES (800) 466-3337 www.lowes.com

Hillsboro (503) 844-6200

1951 SE 24th Ave. Hillsboro, OR 97123

Milwaukie (503) 794-2500

13631 SE Johnson Rd. Milwaukie 97222

Portland (503) 737-3000

1160 N Hayden Meadows Dr. Portland 97217

Tigard (503) 624-2644 12615 SW 72nd Ave. Tigard, OR 97223

Wood Village (503) 667-1005

1000 NE Wood Village Blvd. Wood Village, OR 97060

DONATION FACILITIES

Goodwill (800) 741-0186 locator.goodwill.org

The Salvation Army (800) 958-7825 www.salvationarmyusa.org

Value Village (800) 958-7825 www.valuevillage.com

MOVING TRUCK RENTALS

Budget (800) 462-8343 www.budgettruck.com

Penske (888) 996-5415 www.pensketruckrental.com

Ryder (800) 297-9337 www.ryder.com

U-Haul (800) 468-4285 www.uhaul.com

STORAGE COMPANIES

NW Self Storage www.nwselfstorage

Public Storage (800) 906-0879 www.publicstorage.com

Pods (888) 309-8967 www.pods.com

TRANSFER STATIONS Garbage/Recycling

Metro Center (503) 234-3000

www.oregonmetro.gov 6161 NW 61st Ave. Portland, OR 97210

Metro South (503) 234-3000 www.oregonmetro.gov

2001 Washington St. Oregon City, OR 97045

RESOURCE GUIDE

AIRPORT

Portland International Airport (877) 793-4690 www.flypdx.com

AUTO & DRIVER REGISTRATION

DMV (503) 945-5000 www.odot.state.or.us/dmv/

BUS SERVICE

C-Tran (360) 695-0123 www.c-tran.com

Greyhound (800) 231-2222 www.greyhound.com

Tri-Met (503) 238-7433 www.tri-met.org

CABLE TV & INTERNET

Verizon (888) 881-8161 www.verizon.com

XFINITY (Comcast) (800) 934-6489 www.comcast.com

CITY CONTACT

Banks (503) 324-5112 www.cityofbanks.org

Beaverton (503) 526-2222 www.ci.beaverton.or.us

Canby (503) 266-4021 www.ci.canby.or.us

CITY CONTACT CONTINUED

Cornelius (503) 357-9112 www.ci.cornelius.or.us

Damascus (503) 658-8545

www.ci.damascus.or.us

Estacada (503) 630-8270 www.cityofestacada.org

Fairview (503) 665-7929 www.ci.fairview.or.us

Forest Grove (503) 359-3200

www.ci.forest-grove.or.us

Gaston (503) 985-3340

Gladstone (503) 656-5225 www.ci.gladstone.or.us

Gresham (503) 661-3000 www.ci.gresham.or.us

Happy Valley (503) 760-3325 www.ci.happy-valley.or.us

Hillsboro (503) 681-6100 www.hillsboro-oregon.gov

King City (503) 639-4082 www.ci.king-city.or.us

Lake Oswego (503) 635-0270 www.ci.oswego.or.us

Milwaukie (503) 786-7525 www.ci.cityofmilwaukie.org

CITY CONTACT CONTINUED Molalla (503) 829-6855 www.cityofmolalla.com

North Plains (503) 647-5555 www.northplains.org

Oregon City (503) 657-0891 www.ci.orcity.or.us

Portland (503) 823-4000 www.portlandonline.com

River Grove (503) 639-6919

Sandy (503) 668-5533 www.ci.sandy.or.us

Sherwood (503) 625-5522 www.ci.sherwood.or.us

Tigard (503) 639-4171 www.ci.tigard.or.us

Troutdale (503) 665-5175 www.ci.troutdale.or.us

Tualatin (503) 692-2000 www.tualatinoregon.gov

West Linn (503) 657-0331 www.westlinnoregon.gov

Wilsonville (503) 682-1011 www.ci.wilsonville.or.us

Wood Village (503) 667-6211 www.ci.wood-village-or.us

COUNTY CONTACTS

Clackamas (503) 655-8011 www.co.clackamas.or.us Taxation (503) 655-8671

Multnomah (503) 248-3511 www.co.clackamas.or.us Taxation (503) 988-3326

Washington (503) 846-8611 www.co.clackamas.or.us Taxation (503) 846-8741

ELECTRICITY

Pacific Power (888) 221 7070 www.pacificpower.net

Portland General (800) 542-8818 www.portlandgeneral.com

HOSPITALS

Adventist Medical (503) 257-2500 www.adventisthealthnw.com

Doernbecher Children’s Hospital (503) 494-8311 www.ohsu.edu

Legacy Good Samaritan (503) 413-4683 www.legacyhealth.org

Legacy Emanuel (503) 413-2200 www.legacyhealth.org

RESOURCE GUIDE

HOSPITALS CONTINUED

Legacy Meridian Park (503) 692-1212 www.legacyhealth.org

Legacy Mt. Hood (503) 674-1122 www.legacyhealth.org

Kaiser Permanente Sunnyside (503) 813-2000 www.kaiserpermanente.org

Kaiser Permanente Westside (503) 813-2000 www.kaiserpermanente.org

OHSU (503) 494-8311 www.ohsu.edu

Providence Milwaukie (503) 513-8300 www.providence.org

Providence Portland (503) 215-1111 www.providence.org

Providence St. Vincent (503) 216-1234 www.providence.org

Providence Willamette Falls (503) 656-1631 www.providence.org

Shriner’s Hospital (503) 241-5090 www.shrinershq.org

Tuality Community (503) 681-1111 www.tuality.org

Tuality Forest Grove (503) 357-2173 www.tuality.org

NATURAL GAS

NW Natural (800) 422-4012 www.nwnatural.com

NEWSPAPERS

The Columbian (360) 694-3391 www.columbian.com

The Oregonian (503) 221-8240 www.oregonlive.com

Willamette Weekly (503) 243-2122 www.wweek.com

RECREATION

Convention Center (503) 235-7575 www.oregoncc.org

Expo Center (503) 736-5200 www.expocenter.org

Mt. Hood Meadows (503) 337-2222 www.mthoodmeadows.com

OMSI (503) 797-4000 www.omsi.edu

Oregon Zoo (503) 266-1561 www.oregonzoo.com

Portland International Raceway (503) 823-7223 www.portlandraceway.com

Portland Art Museum (503) 266-2811 www.pam.org

RESOURCE GUIDE

RECREATION CONTINUED

Providence Park (503) 553-5400 www.providenceparkpdx.com

Regal Cinemas (800) FANDANGO www.regalcinemas.com

Moda Center (503) 797-9619 www.rosequarter.com

Willamette Jetboat (503) 231-1532 www.willamettejet.com

SHOPPING

Bridgeport Village (503) 968-1704 www.bridgeport-village.com

Cedar Hills Crossing (503) 643-6563 www.cedarhillscrossing.com

Clackamas Town Center (503) 653-6913 www.clackamastowncenter.com

Columbia Gorge Outlets (503) 669-8060 www.premiumoutlets.com/ columbiagorge

Lloyd Center (503) 282-2511 www.lloydcenter.com

Mall 205 (503) 255-5805

Pioneer Place (503) 228-5800 www.pioneerplace.com

SHOPPING CONTINUED

Streets of Tanasbourne (503) 533-0561 www.streetsoftanasbourne.com

Washington Square (503) 369-8860 www.shopwashingtonsquare.com

Woodburn Outlets (888) 664-SHOP www.woodburncompanystores.com

TELEPHONE SERVICE

Verizon (800) 483-4100 www.verizon.com

AT&T (800) 288-2020 www.att.com

TRANSFER STATIONS

Metro Center (503) 234-3000

www.oregonmetro.gov 6161 NW 61st Ave. Portland, OR

Metro South (503) 234-3000 www.oregonmetro.gov 2001 Washington St. Oregon City, OR

Clackamas County (503) 668-8885 www.wmnorthwest.com 19600 SE Canyon Valley Rd. Sandy, OR

VOTER REGISTRATION

Clackamas (503) 655-8510

Multnomah (503) 248-3720

Washington (503) 846-5800

WATER BUREAU

Beaverton (503) 526-2257

Clackamas (503) 722-9220

Gladstone (503) 656-5223

Gresham (503) 618-2373

Hillsboro (503) 681-6228

Lake Oswego (503) 635-0265

Milwaukie (503) 786-7525

Oregon City (503) 657-8151

Portland (503) 823-7770

Tigard (503) 639-1554

Tualatin (503) 692-2000

West Linn (503) 656-4261

Wilsonville (503) 682-1011

CYBER SECURITY

the information without the knowledge of the sender or recipient, resulting in the funds being sent to an outside account and never credited to the intended party.

To protect and reduce your risk, WFG has implemented the following procedures for outgoing and incoming wires:

Outgoing Wire from WFG to seller or borrower for proceeds

In the escrow paperwork provided you will be asked to provide written instructions on how you want funds due you sent to you at the close of escrow. If you choose to have the funds sent via wire transfer, WFG will contact you by phone to confirm the wire information provided.

Incoming Wires from the buyer and/or lender to WFG bank account

For funds that are to be wired to WFG for your transaction, we will send specific wire instructions to the remitting person via an encrypted email. We recommend you reach out to your WFG contact to confirm the wire instructions prior to remittance.

We look forward to processing your escrow transaction for you. We know that this can be a stressful time and we are here to assist you in any way we can to make this a good experience.

http://national.wfgnationaltitle.com/2016/04/05/obsess-cyber-security/

OWNERS TITLE INSURANCE Why it's important

claims, or restrictions on the buyer’s property, other than the mortgage the buyer agrees to pay.

If the preliminary title search uncovers potential problems, a buyer can require that those problems be satisfactorily dealt with before closing on the home.

In addition, owner’s title insurance protects buyers against a myriad of risks that not even the most careful title search can uncover, including things such forged documents, undisclosed or missing heirs of a previous owner, fraud, will disputes, and unrecorded claims of many types.

Without owner’s title insurance, the legal costs to resolve such title claims could easily be in the tens of thousands of dollars and would have to be paid out of pocket by the buyer - not to mention the stress that such situations would cause to the buyer.

Owner’s title insurance is one of the most affordable insurance policies a person can ever buy. Unlike other forms of insurance, there is only a one-time fee at closing for the policy, which financially protects the buyer’s investment for as long as the buyer or the buyer’s heirs own the home.

So, if someone tells the buyer that owner’s title insurance is “optional”, that certainly does not mean that the buyer should not get it. Virtually every lender requires lender’s title insurance, but that insurance does not protect the buyer.

In order to safeguard the buyer’s investment in the property, which is possibly the most important investment the buyer will ever make, owner’s title insurance is absolutely critical.

WHAT IS ESCROW?

Both the buyer and seller rely on the escrow agent to carry out their written instructions relating to the transaction and to advise them if any of their instructions are not mutually consistent or cannot be carried out. If the instructions from all parties to an escrow are clearly drafted, the escrow officer can proceed on behalf of the buyer and seller without further consultation. This saves much time and facilitates the closing of the transaction.

TYPICAL ROLES IN THE CLOSING PROCESS

The Seller/Agent

Delivers a fully executed Purchase Sale Agreement to the escrow agent. Executes the paperwork necessary to close the transaction.

The Buyer/Agent

Deposits collected funds required to close (in with the escrow agent.

Approves the commitment for title insurance, or other items as called for by the Purchase Sale Agreement.

Executes the paperwork and loan documents necessary to close the transaction.

The Lender

Deposits loan documents to be executed by the buyer

Deposits the loan proceeds. Directs the escrow agent of the conditions under which the loan funds may be used

The Escrow Agent

Clears Title

Obtains title insurance

Obtains payoffs and release documents for underlying loans on the property Receives funds from the buyer and/or lender. Prepares vesting document affidavit on seller’s behalf.

Prorates insurance, taxes, rents, etc.

Prepares a final statement (often referred to as the “HUD Statement” or ”Settlement Statement”) for each party, indicating amounts paid in conjunction with the closing of your transaction. Forwards deed to the county for recording. Once the proper documents have been recorded, the escrow agent will distribute funds to the proper parties.

In Summary

Escrow is the process that assembles and processes many of the components of a real estate transaction. The sale is officially closed when the new deed is recorded and funds are available to the seller, thus transferring ownership from the seller to the buyer. The escrow agent is a neutral third party acting on behalf of the buyer and seller.

WHAT IS TITLE?

About Title Insurance

Title is a bundle of rights in real property. Protecting purchasers and lenders against loss is accomplished by the issuance of a title insurance policy. Usually, during a purchase transaction, the lender requests a policy (commonly referred to as the Lender’s Policy) while the buyers receive their own policy (commonly referred to as an Owner's Policy).

In short, the policy states that if the status of the title to a parcel of real property is other than as represented, and if the insured (either the owner or lender) suffers a loss as a result of a title defect, the insurer will reimburse the insured for that loss and any related legal expenses, up to the face amount of the policy, subject to exceptions and exclusions contained in the policy.

Typically there are two policies issued. The Mortgagee’s Policy insures the lender for the amount of the loan. The Owner’s Policy insures the purchaser of the purchase price.

How is title insurance different from other types of insurance?

While the function of most other forms of insurance is risk assumption through the pooling of risks for losses arising out of unforeseen future events (such as sickness or accidents), the primary purpose of title insurance is to eliminate risks and prevent losses caused by defects in title arising out of events that have happened in the past. To achieve this goal, title insurers perform an extensive search and examination of the public records to determine whether there are any adverse claims (title defects) attached to the subject property. Said defects/claims are either eliminated prior to the issuance of a title policy

or their existence is excepted from coverage. Your policy is issued after the closing of your new home, for a one-time nominal fee, and is good for as long as you own the property.

What’s involved in a title search? A title search is actually made up of three separate searches:

Chain of Title – History of the ownership of the subject property

Tax Search – The tax search reveals the status of the taxes and assessments

Judgment and Name Search – Searches for judgment and liens against the owners’ and purchasers’ names

Once the three searches have been completed, the file is reviewed by an examiner who determines:

Whether or not the Chain of Title shows that the party selling the property has the right to do so. The status of taxes for the subject property. The Tax Search will also indicate the existence of any special assessments against the land and whether or not these assessments are current or past due.

Whether there are any unsatisfied judgments on the Judgment and Name Search against the previous owners, sellers, or and purchasers.

Rights established by judgment decrees, unpaid federal income taxes and mechanic liens all may be prior claims on the property, ahead of the buyer’s or lender’s rights. The title search will only uncover defects in title that are of public record, thus allowing the title company to work with the seller to clear up these issues and provide the new buyer with title insurance.

In Summary

After the searches have been examined, the title company will issue a commitment, stating the conditions under which it will insure title. The buyer, seller and the mortgage lender will proceed with the closing of the transaction after clearing up any defects in the title that have been uncovered by the search and examination.

.

WHO PAYS WHAT IN OREGON

SELLER PAYS

TYPICAL COSTS

The following costs generally affect all transactions:

Escrow Fee - one-half of the fee, based on title company’s fee schedule

Recording Fees - based on county fee schedule

Title Premium - based on fixed statewide fee schedule

Real Estate Commission - based on agreement with Broker

Tax Prorate - to apportion taxes between parties as of date of closing

General Costs - as listed for each specific transaction, as requested by principals

Release fees for loan payoff(s)

LAND SALE CONTRACT TRANSACTION

Attorney Fee - optional, and is sometimes shared with purchaser

Collection Escrow Setup Fee - optional, and is often shared with purchaser

ASSIGNMENT OF CONTRACT FOR ASSUMPTION OF LOAN TRANSACTION

Any delinquent payments to bring contract or loan current

Prorate share of current month’s interest based on current rate

CONVENTIONAL, FHA, VA LOAN TRANSACTIONS

Any closing cost (not expenses of property or loan interest) negotiated on behalf of the purchaser, subject to lender’s approval

FHA, VA Loans - check with lender for any applicable seller costs

BUYER PAYS

TYPICAL COSTS

The following costs generally affect all transactions:

Escrow Fee - one-half of the fee, based on title company’s fee schedule

Recording Fees - based on county fee schedule

Fire Insurance Premium - mandatory when any lender is involved, including the seller’s lender

Tax Prorate - to apportion taxes between parties as of date of closing

General Costs - as listed for each specific transaction, as requested by the principals

LAND SALE CONTRACT TRANSACTION

Attorney Fee - optional, and is sometimes shared with seller

Collection Escrow Setup Fee - optional, and is sometimes shared with seller

Recording Fee - for contract or memorandum thereof

ASSIGNMENT OF CONTRACT FOR ASSUMPTION OF LOAN TRANSACTION

Assumption or Assignment

Next monthly payment due, if required by lender

Recording Fee - for Assumption/Assignment of Agreement, if required by lender

CONVENTIONAL, FHA, VA LOAN TRANSACTIONS

Lenders title insurance policy & endorsements, as required by lender

Loan Fee - as required by lender

Credit Report Fee - as required by lender

Appraisal Fee - as required by lender

Mortgage Insurance Premium - based on fee schedule and endorsements of lender

Prepaid Interest - if required by lender

VA Loans only - funding fee, if required by lender

FHA, VA, and some Conventional Loans - reserves for real property taxes, fire insurance and mortgage insurance

TITLE VESTING Common ways to hold title to real property

ASANINDIVIDUAL

Anindividualmayholdtitleinhisorhernameonly,regardlessofwhetherornotmarried–e.g.“JaneSmith,an individual”.Thatindividualthenownsallrightstotheproperty,whichcanbesoldortransferredtoothersviawill ortrust.Whileadivorceispending,however,ifthepropertywasacquiredduringthemarriageitwilllikelybe treatedaspartofthemaritalestateandthusbesubjecttocourtauthority.

ASTENANTSBYTHEENTIRETY

Aconveyancetoahusbandandwifecreatesatenancybytheentirety–e.g.“JohnSmithandJaneSmith, husbandandwife,astenantsbytheentirety”.Thiscreatesasurvivorshipestate,whichmeansthatifonespouse dies,his/herinterestwillautomaticallygotothesurvivingspouse.Ahusbandandwifemayalsotaketitleas tenantsincommon(discussedbelow)iftheintentiontoholdtitleinthatmannerisexpresslystated.

ASTENANTSINCOMMON

Unlessaconveyanceexpresslyprovidesthatthepartiesintendtocreateasurvivorshipestate(discussedbelow), aconveyancetotwoormorepersonswhoarenotmarriedcreatesatenancyincommoninwhicheachhas (unlessotherwisestated)anequalundividedinterestintheproperty–e.g.“JohnSmithandRobertJones,as tenantsincommon,eachastoanundivided50%interest”.Eachtenantincommonthenownsanundivided interestintheentireproperty,whichcanbesoldortransferredtoothersviawillortrust.

ASASURVIVORSHIPESTATE

Twoormorepersonswhoarenotmarriedmayalsoholdtitleastenantsincommonwitharightofsurvivorship, aslongasthesurvivorshipdeclarationisexpresslycontainedinthedeed–e.g.“JohnSmithandRobertJones, notastenantsincommon,butwiththerightofsurvivorship”.Thiscreatesasurvivorshipestate,whichmeans thatifonepartydies,his/herinterestwillautomaticallygotothesurvivorandcannotbesoldduringthelifetime ofortransferredviawillortrustbythepartywhodiesfirst

ASREGISTEREDDOMESTICPARTNERS

Registereddomesticpartnersmaytaketitleas(i)tenantsincommon–e.g.“JaneSmithandMaryJones, registereddomesticpartners,astenantsincommon,eachastoanundivided50%interest”,or(ii)ina survivorshipestatesimilartothatofatenancybytheentirety–e.g.“JaneSmithandMaryJones,asregistered domesticpartnerswithrightofsurvivorship”.

ASASAMESEXMARRIEDCOUPLE

Samesexmarriedcouplesmaytaketitleas(i)tenantsincommon–e.g.“JohnSmithandRobertSmith,a marriedcouple,astenantsincommon,eachastoanundivided50%interest”,or(ii)inasurvivorshipestate similartothatofatenancybytheentirety–e.g.JohnSmithandRobertSmith,amarriedcouplewithrightof survivorship,or(iii)astenantsbytheentirety–e.g.“JohnSmithandRobertSmith,amarriedcouple,astenants bytheentirety”.

ASANENTITY

Aregisteredentity,suchasacorporation,limitedliabilitycompanyorpartnership,mayholdtitle.Titleshouldbe heldexactlyasthenameisregisteredwiththeOregonSecretaryofState–e.g.“Smith&Jones,LLC,anOregon limitedliabilitycompany”.

DISCLAIMER–Theforegoingcontainsinformationalexamplesonlyandisnottobeconstruedaslegaladvice.Giventhecomplexitiesinvolvedinacquiringandholding legaltitletorealproperty,WFGstronglyrecommendsthatyouseeklegaladvicefromanattorneypriortodoingso.

ADMINISTRATIVE

12909 SW 68th Pkwy. Ste. 350 Portland, OR 97223 503-431-8500

CLACKAMAS

9200 SE Sunnybrook Blvd. Ste. 350 Clackamas, OR 97015 503-353-9975

LAKE OSWEGO

5885 Meadows Rd. Ste. 130 Lake Oswego, OR 97035 503-624-4900

LLOYD/COMMERCIAL

NW PORTLAND 25 NW 23rd Pl. Ste. 1 Portland, OR 97210 503-219-9088

BETHANY 1500 NW Bethany Blvd. Ste. 155 Beaverton, OR 97006 503-850-3990

DOWNTOWN VANCOUVER 2001 SE Columbia River Dr Ste. 100 Vancouver, WA 98661 360-314-0300

SALMON CREEK

2105 NE 129th St. Ste. 107 Vancouver, WA 98686 360-314-1818

VANCOUVER MALL

4400 NE 77th Ave Ste. 250 Vancouver, WA 98662 360-891-5454

EAST VANCOUVER 2004 SE 192nd Ave. Ste. 100 Vancouver, WA 98683 360-356-9990 1 2 3 5 6 7 8 9 4 10

700 NE Multnomah St. Ste. 190 Portland, OR 97232 503-230-8488

Portland, OR 97223

REPORT FOR 3/3/2025

Single-Family Homes

This week the median list price for Portland, OR 97223 is $649,900 with the market action index hovering around 46. This is an increase over last month's market action index of 42 Inventory has decreased to 34

Market Action Index

This answers “How’s the Market?” by comparing rate of sales versus inventory

Real-Time Market Profile

Strong Seller's Market

Market Narrative

While the Market Action Index shows some strengthening in the last few weeks, prices have not seemed to move from their plateau. Should the upward trend in sales relative to inventory continue, expect prices to resume an upward climb in tandem with the MAI

Market Segments

Each segment below represents approximately 25% of the market ordered by price

Strong Seller's Market

Median List Price

Again this week we see prices in this zip code remain roughly at the level they’ve been for several weeks. Since we’re significantly below the top of the market, look for a persistent up-shift in the Market Action Index before we see prices move from these levels.

Segments

In the quartile market segments, we see prices in this zip code have settled at a price plateau across the board. Prices in all four quartiles are basically mixed. Look for a persistent shift (up or down) in the Market Action Index before prices move from these current levels.

Price Per Square Foot

The market plateau is seen across the price and value. The price per square foot and median list price have both been reasonably stagnant. Watch the Market Action Index for persistent changes as a leading indicator before the market moves from these levels.

Inventory

Inventory has been falling in recent weeks. Note that declining inventory alone does not signal a strengthening market. Look to the Market Action Index and Days on Market trends to gauge whether buyer interest is changing with the available supply.

Market Action Index

While the Market Action Index shows some strengthening in the last few weeks, prices have not seemed to move from their plateau. Should the upward trend in sales relative to inventory continue, expect prices to resume an upward climb in tandem with the MAI.

Market Action Segments

Not surprisingly, all segments in this zip code are showing high levels of demand. Watch the quartiles for changes before the whole market changes. Often one end of the market (e.g. the highend) will weaken before the rest of the market and signal a slowdown for the whole group.

Median Days on Market (DOM)

The properties have been on the market for an average of 105 days. Half of the listings have come newly on the market in the past 96 or so days. Watch the 90-day DOM trend for signals of a changing market.

Segments

It is not uncommon for the higher priced homes in an area to take longer to sell than those in the lower quartiles.

Personalized. Secure. Transparent. SIMPLIFYING YOUR JOURNEY TO A SUCCESSFUL CLOSING

WFG’s MyHome® provides full transparency, real-time updates, and post-closing home information in a secure web environment. It is fully responsive, mobile-first and built with YOU in mind.

Sign up for an account at https://myhome.wfgtitle.com today!

Click Register for MyHome® account on a MyHome® email notification or go directly to https://myhome. wfgtitle.com

Confirm email for immediate access. 1 2 3

Complete a brief registration form. Use your email address on file with WFG, and have your escrow number handy.

• Instant access to essential file details

• Contact information for all parties involved

• In-depth Knowledge Center

• Timeline view of the entire escrow process

• Real-time updates via text, email, or personalized dashboard

• Complete forms needed for your transaction

• Upload documents to your escrow team

• Explainer videos for each milestone

• Access on desktop, tablet or mobile

CONSUMER EXPERIENCE TIMELINE

TRANSACTION CLOSED GATHER UP

Notification sent one day after transaction is marked recorded.

TRANSACTION STARTED

Notification is sent five days after Title is cleared.

Notification is sent after Title Report is completed.

Notification is sent after Title Report is completed.

MIDPOINT FEEDBACK

Invitation to provide feedback and rate your experience. Sent 3 days after transaction closed.

Notification is sent to both Buyer and Seller.

All notifications include a link that can be used for registration and access to your MyHome® dashboard post registration.

Notification is sent once all title curative items are received and ready for closing.

Notification is sent 15 days after Title Report is completed.

® notifications start triggering to the Client once the order has been opened.

Notification is sent when earnest money is received by Escrow.

MyHome

Contact us to schedule a demo or sign up for an account.

Turn static files into dynamic content formats.

Create a flipbook
Issuu converts static files into: digital portfolios, online yearbooks, online catalogs, digital photo albums and more. Sign up and create your flipbook.