4185 SW 102nd Ave - HP

Page 1


SCAN HERE

PROPERTY ADDRESS

4185 SW 102ND AVE

OR 97005

OWNER INFORMATION

OWNER NAME: Rltj2 LLC

VESTING:

MAILING ADDRESS: 9645 SW Inglewood St Portland OR 97225

OWNER STATUS: Non-owner occupied

LOCATION DESCRIPTION

COUNTY: Washington

CENSUS / BLOCK: 031301 / 1012

TSP - RNG - SEC: 01S - 01W - 14

LOT / BLOCK: 14 /

HOUSING TRACT: Clare View Place

ALT PARCEL #: R0106548

SCHOOL DISTRICT: Beaverton

MUNICIPALITY: Beaverton

PARCEL #: R106548

LAST MARKET SALE PRIOR SALE

DATE: DATE: SALE PRICE: SALE PRICE:

DOCUMENT #:

DOCUMENT #: DOC TYPE: DOC TYPE:

SQUARE FOOT $: LENDER:

LENDER: LOAN: LOAN: LOAN TYPE:

LOAN TYPE: LOAN TERM:

SW 102ND AVE

OR 97005

PROPERTY CHARACTERISTICS

GROSS AREA: 3,756

LIVING AREA: ABOVE GRADE:

BEDROOMS: 4

BATHROOMS: 4

FIREPLACE: 0

YEAR BUILT: 1955

PARKING TYPE: Unfinished Garage

UNITS:

BASEMENT: 1,836

GARAGE AREA: 440

ROOF SHAPE:

FOUNDATION: 01

ROOF MATERIAL: Composition

CONSTRUCTIONS: Wood

HEAT TYPE: Forced Air

COOLING TYPE:

EXTERIOR WALL: Wood Sheathing

ROOMS:

QUALITY:

INTERIOR WALL:

PORCH TYPE:

PATIO TYPE: AIR COND:

FIXTURES: FLOOR: EQUIPMENT:

STORIES:

POOL:

CONDITION:

PROPERTY INFORMATION

LAND USE: Residential Improved

ZONING: Low Density Residential Distric

COUNTY USE: Residence Single Family

LOT ACRES: 0.31

STATE USE:

LOT SQ FT: 13,504 LEN / WID:

TAXES AND ASSESSMENT INFORMATION

ASSD YEAR: 2023

ASSD VALUE: $356,460

TAXABLE VAL:

TAX YEAR: 2023

LAND VALUE: $293,460

MKT VALUE: $617,620

TAX AREA: 50.93

IMP VALUE: $324,160

EXEMPTIONS:

PROPERTY TAX: $6,459.04

IMPROVED %: 52

DISTRICT:

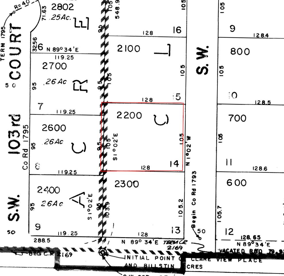
A S S E S S O R M A P

S T R E E T

A E R I A L M A P

CITY BOUNDARY MAP

Beaverton School District

ELEMENTARY SCHOOLS

NAME: Raleigh Park Elementary School

ADDRESS: 3670 Sw 78Th Ave

CITY, STATE, ZIP: Portland, OR 97225

PHONE: (503)356-2500

CHARTER SCHOOL: No

SCHOOL:

DESCRIPTION: 21-Suburb: Large

1.26 mile(s)

GRADES: Kindergarten - 5th Grade TITLE ONE: 1-Yes

NAME: Mckay Elementary School

ADDRESS: 7485 Sw Scholls Ferry Rd

CITY, STATE, ZIP: Beaverton, OR 97008

PHONE: (503)356-2170

CHARTER SCHOOL: No

DESCRIPTION: 13-City: Small

1.68 mile(s)

GRADES: Prekindergarten - 5th Grade TITLE ONE: 1-Yes

MIDDLE SCHOOLS

NAME: Whitford Middle School

ADDRESS: 7935 Sw Scholls Ferry Rd

CITY, STATE, ZIP: Beaverton, OR 97008

PHONE: (503)356-2700

GRADES: 6th Grade - 8th Grade

NAME: Meadow Park Middle School

ADDRESS: 14100 Sw Downing St

CHARTER SCHOOL: No

DESCRIPTION: 13-City: Small

1 83 mile(s)

ONE: 2-No

CHARTER SCHOOL: No

SCHOOL: CITY, STATE, ZIP: Beaverton, OR 97006

PHONE: (503)356-2640

GRADES: 6th Grade - 8th Grade

HIGH SCHOOLS

NAME: Beaverton High School

ADDRESS: 13000 Sw Second St

DESCRIPTION: 21-Suburb: Large

2.68 mile(s)

ONE: 2-No

CHARTER SCHOOL: No

MAGNET SCHOOL: CITY, STATE, ZIP: Beaverton, OR 97005

PHONE: (503)356-2830

GRADES: 9th Grade - 12th Grade

NAME: Aloha High School

DESCRIPTION: 13-City: Small

1.43 mile(s)

ONE: 2-No

CHARTER SCHOOL: No

ADDRESS: 18550 Sw Kinnaman Rd MAGNET SCHOOL: CITY, STATE, ZIP: Beaverton, OR 97078 AREA DESCRIPTION: 21-Suburb: Large

PHONE: (503)356-2760

DISTANCE: 4 25 mile(s)

GRADES: 9th Grade - 12th Grade TITLE ONE: 2-No

Students We Serve

OREGON AT-A-GLANCE DISTRICT PROFILE

Beaverton SD 48J

SUPERINTENDENT: Gustavo Balderas | 1260 NW Waterhouse Ave, Beaverton 97006 | 503-356-4500

Academic Success

Grade 3

Students

ENGLISH LANGUAGE ARTS

Students

Grade 8

Students

High School Success

ON-TIME GRADUATION

Students

Students

District Goals

Beaverton School District promotes a deep sense of belonging while supporting, challenging and inspiring all students to explore their passions, achieve their goals and graduate ready to thrive in their learning and life after high school. To achieve this mission, the district and its schools will implement strategies and track outcomes in four areas: Student Safety and Well-being, Strong Start in Early Learning, Academic Achievement for All, and Supporting Post-High School Success.

State Goals

The Oregon Department of Education is partnering with school districts and local communities to ensure a 90% on-time, four year graduation rate by 2027. To progress toward this goal, the state will prioritize efforts to improve attendance, provide a wellrounded education, invest in implementing culturally responsive practices, and promote continuous improvement to close opportunity and achievement gaps for historically and currently underserved students.

Our Staff (rounded FTE)

OREGON AT-A-GLANCE DISTRICT PROFILE

Beaverton SD 48J

Outcomes

117 Administrators

2,164 Teachers

469 Educational assistants

Counselors

ON-TRACK TO GRADUATE

ON-TIME GRADUATION

Psychologists

Students We Serve

OREGON AT-A-GLANCE SCHOOL PROFILE

Raleigh Park Elementary School

PRINCIPAL: Aki Mori | GRADES: K-5 | 3670 SW 78th Ave, Portland 97225 | 503-356-2500

REGULAR ATTENDERS

Students

ENGLISH LANGUAGE ARTS

MATHEMATICS

School Goals

Beaverton School District promotes a deep sense of belonging while supporting, challenging and inspiring all students to explore their passions, achieve their goals and graduate ready to thrive in their learning and life after high school. To achieve this mission, the district and its schools will implement strategies and track outcomes in four areas: Student Safety and Well-being, Strong Start in Early Learning, Academic Achievement for All, and Supporting Post-High School Success.

State Goals

The Oregon Department of Education is partnering with school districts and local communities to ensure a 90% ontime, four year graduation rate by 2027. To progress toward this goal, the state will prioritize efforts to improve attendance, provide a well-rounded education, invest in implementing culturally responsive practices, and promote continuous improvement to close opportunity and achievement gaps for historically and currently underserved students.

Safe & Welcoming Environment

WE are committed to providing all of our students and families with safe, caring and inclusive learning environments, free from bullying, intimidation, and harassment. We will not tolerate any form of discrimination and we will take swift action to address concerns. We have a Board Policy (AC) on non-discrimination. We will serve all students and families.

Students in grades 4 - 5 reporting:

· Feeling safe, welcomed, and accepted at school: 81%

· At least one adult at school really cares about them: 85%

Our Staff (rounded FTE) 21

OREGON AT-A-GLANCE SCHOOL PROFILE

Raleigh Park Elementary School

Outcomes

REGULAR ATTENDERS

ENGLISH LANGUAGE ARTS

Teachers 7 Educational assistants

2

Counselors/ Psychologists/ Social Workers

About Our School

BULLYING, HARASSMENT, AND SAFETY POLICIES

Maintaining a safe school environment is a priority of the Beaverton School District. We collaborate with community partners to review and enhance our safety practices, emergency readiness and response. Students in grades 4 and 5 reporting not being bullied at or on the way to or from school: 51%

Anti-bullying curriculum, Positive

Behavioral Interventions and Supports (PBIS)

EXTRACURRICULAR ACTIVITIES

See our website for activities available to students.

PARENT ENGAGEMENT

100% of parents report they are valued as active participants in their child’s education. Parents are their child’s first and most important teacher. We encourage you to stay engaged as your student progresses through their K-12 education. You can help by setting high expectations for your child’s success.

Here are some ways you can ensure your child’s success:

• Attending school is essential to learning

• Volunteer at school, in the classroom or at home

• Make sure to follow your child’s academic progress

• Provide a quiet place to read or study

• Ensure your child gets enough sleep

• Encourage your child to try diverse extracurricular activities

COMMUNITY ENGAGEMENT

WE are very fortunate to have strong community support. We collaborate with parents, community members, faith partners, businesses and non-profits to bring additional resources to support students’ success. We seek diverse community and staff input.

81% of parents report that the school encourages feedback from parents and the community.

Students We

OREGON AT-A-GLANCE SCHOOL PROFILE

Whitford Middle School

PRINCIPAL: Zan Hess | GRADES: 6-8 | 7935 SW Scholls Ferry Rd, Beaverton 97008 | 503-356-2700

REGULAR ATTENDERS

Students

ENGLISH LANGUAGE ARTS

MATHEMATICS

School Goals

Beaverton School District promotes a deep sense of belonging while supporting, challenging and inspiring all students to explore their passions, achieve their goals and graduate ready to thrive in their learning and life after high school. To achieve this mission, the district and its schools will implement strategies and track outcomes in four areas: Student Safety and Well-being, Strong Start in Early Learning, Academic Achievement for All, and Supporting Post-High School Success.

State Goals

The Oregon Department of Education is partnering with school districts and local communities to ensure a 90% ontime, four year graduation rate by 2027. To progress toward this goal, the state will prioritize efforts to improve attendance, provide a well-rounded education, invest in implementing culturally responsive practices, and promote continuous improvement to close opportunity and achievement gaps for historically and currently underserved students.

Safe & Welcoming Environment

WE are committed to providing all of our students and families with safe, caring and inclusive learning environments, free from bullying, intimidation, and harassment. We will not tolerate any form of discrimination and we will take swift action to address concerns. We have a Board Policy (AC) on non-discrimination. We will serve all students and families.

Students in grade 7 reporting:

· Feeling safe, welcomed, and accepted at school: 43%

· At least one adult at school really cares about them: 72%

Our Staff (rounded FTE)

OREGON AT-A-GLANCE SCHOOL PROFILE

Whitford Middle School

Outcomes

REGULAR ATTENDERS

ENGLISH LANGUAGE ARTS

Teachers 8 Educational assistants

Counselors/ Psychologists/ Social Workers

No

About Our School

BULLYING, HARASSMENT, AND SAFETY POLICIES

Maintaining a safe school environment is a priority of the Beaverton School District. We collaborate with community partners to review and enhance our safety practices, emergency readiness and response.

Students in grade 7 reporting:

· Not being bullied at or on the way to or from school: 44%

· Reports of bullying will be taken seriously and responded to by the school: 30%

Anti-bullying curriculum, Positive Behavioral Interventions and Supports (PBIS)

EXTRACURRICULAR ACTIVITIES

See our website for activities available to students.

PARENT ENGAGEMENT

72% of parents report they are valued as active participants in their child’s education. Parents are their child’s first and most important teacher. We encourage you to stay engaged as your student progresses through their K-12 education. You can help by setting high expectations for your child’s success.

Here are some ways you can ensure your child’s success:

• Attending school is essential to learning

• Volunteer at school, in the classroom or at home

• Make sure to follow your child’s academic progress

• Provide a quiet place to read or study

• Ensure your child gets enough sleep

• Encourage your child to try diverse extracurricular activities

COMMUNITY ENGAGEMENT

WE are very fortunate to have strong community support. We collaborate with parents, community members, faith partners, businesses and non-profits to bring additional resources to support students’ success. We seek diverse community and staff input.

77% of parents report that the school encourages feedback from parents and the community.

Students We

OREGON AT-A-GLANCE SCHOOL PROFILE

Beaverton High School

PRINCIPAL: Andrew Kearl | GRADES: 9-12 | 13000 SW Second St, Beaverton 97005 | 503-356-2830

REGULAR ATTENDERS

Students

Students earning a diploma within four years. Cohort includes students who were first-time ninth graders in 2018-19 graduating in 2021-22

FIVE-YEAR COMPLETION

Students earning a high school diploma or GED within five years. Cohort Includes students who were firsttime ninth graders in 2017-18 finishing in 2021-22

COLLEGE GOING

Students enrolling in a two or four year college within 16 months of completing high school in 202021. Data from the National Student Clearinghouse.

from

School Goals

Beaverton School District promotes a deep sense of belonging while supporting, challenging and inspiring all students to explore their passions, achieve their goals and graduate ready to thrive in their learning and life after high school. To achieve this mission, the district and its schools will implement strategies and track outcomes in four areas: Student Safety and Well-being, Strong Start in Early Learning, Academic Achievement for All, and Supporting Post-High School Success.

State Goals

The Oregon Department of Education is partnering with school districts and local communities to ensure a 90% ontime, four year graduation rate by 2027. To progress toward this goal, the state will prioritize efforts to improve attendance, provide a well-rounded education, invest in implementing culturally responsive practices, and promote continuous improvement to close opportunity and achievement gaps for historically and currently underserved students.

Safe & Welcoming Environment

WE are committed to providing all of our students and families with safe, caring and inclusive learning environments, free from bullying, intimidation, and harassment. We will not tolerate any form of discrimination and we will take swift action to address concerns. We have a Board Policy (AC) on non-discrimination. We will serve all students and families.

Students in grades 9 - 12 reporting:

· Feeling safe, welcomed, and accepted at school: 77%

· At least one adult at school really cares about them: 86%

· Not being bullied at or on the way to or from school: 67%

Our Staff (rounded FTE)

OREGON AT-A-GLANCE SCHOOL PROFILE

Beaverton High School

Outcomes

REGULAR ATTENDERS

TO GRADUATE

Psychologists/ Social Workers

About Our School

ADVANCED COURSEWORK

WORLD LANGUAGE COURSES

Spanish, French, Japanese

HONORS & DUAL -ENROLLMENT COURSES

· Spanish Dual Language Program · 17 Advanced Placement (AP) courses

· Dual credit courses (contact school)

CAREER & TECHNICAL EDUCATION

Career Pathways in: · Health Occupations · Marketing · Digital Media · Education

In 2021-22, 96.8% of CTE Concentrators earned a dipl oma in four years.

EXTRACURRICULAR ACTIVITIES

Students in grades 9-12 reporting participating in at least one extracurricular activity: 70%

See school website for activities available to students.

PARENT & COMMUNITY ENGAGEMENT

Parents, community members, faith partners, businesses and non-profits are all committed to the success of all of our students.

87% of parents report they are valued as active participants in their child’s education.

79% of parents report that the school encourages feedback from parents and the community.

97,494 $47,863 34.7 48.6% 51.4%

 Beaverton

HOUSING

 50.54% of homes owner occupied

 49.46% of homes rented

POPULATION DENSITY

 4,794.6 inhabitants per sq. mile

 39,500 housing units at an average density of 2,108.9 per sq. mile

HISTORY

AGE DEMOGRAPHIC

 22.9% under age 18

 9.2% between ages 18 to 24

 33% between ages 25 to 44

 24.5% between ages 45 to 64

 10.4% above age 65

CITY QUICK FACTS

 7 Miles west of downtown Portland

 18.73 square miles

 189 feet elevation

 Incorporated in 1893

 Highest Average Temperature 63º

 Lowest Average Temperature 43º

METRO AREA BASE MAP

L O C A L B U S I N E S S E S

L O C A L B U S I N E

S S E S

Beautify Me Lashes and Spa

SW Beaverton Hillsdale Hwy, Beaverton, OR 97005, USA (971)

SW Beaverton Hillsdale Hwy #101, Beaverton, OR 97005, USA

SW Beaverton Hillsdale Hwy Ste 200-9, Beaverton, OR 97005, USA

L

L

Pharmacy 10775 SW Beaverton Hillsdale Hwy, Beaverton, OR 97005, USA (503) 207-0646

Genoa Healthcare

10700 SW Beaverton Hillsdale Hwy #122, Beaverton, OR 97005, USA (503) 214-2046

Fred Meyer Pharmacy 11425 SW Beaverton Hillsdale Hwy, Beaverton, OR 97005, USA (503) 526-1833

2695 SW Cedar Hills Blvd #180, Beaverton, OR 97005, USA (503)

Providence Medical Group - Scholls Immediate Care 12442 SW Scholls Ferry Rd Suite 100, Tigard, OR 97223, USA (503)

Care

Laurelwood Animal Hospital

9339 SW Beaverton Hillsdale Hwy, Beaverton, OR 97005, USA (503)

9315 SW Beaverton Hillsdale Hwy, Beaverton, OR 97005, USA (971)

Beaverton Pet Clinic 11876 SW Beaverton Hillsdale Hwy, Beaverton, OR 97005, USA (503) 646-6101

VCA Raleigh Hills Animal Hospital 4905 SW 77th Ave, Portland, OR 97225, USA (503) 292-9227 0.77 miles

L

Providence St Vincent Heart Clinic Cardiology

Vincent's Hospital West

L

G3 Fitness: House of Grit

Grace & Glory

Beaverton Family YMCA

Tous Les Jours Beaverton

L

L

Emergency Police/Medical/Fire 911

Poison Control (800) 222-1222 www.aapcc.org

United States Postal Service (800) 275-8777 www.usps.com

Xfinity (800) 266-2278 www.xfinity.com

Ziply Fiber (866) 699-4759 www.ziplyfiber.com

Verizon (800) 483-4100 www.verizon.com

AT&T (800) 288-2020 www.att.com

CenturyLink (866) 963-6665 www.centurylink.com

Dish Network (800) 318-0572 www.dish.com

DIRECT TV (800) 531-5000 www.directtv.com

The Oregonian (503) 221-8240 www.oregonlive.com

TRI-MET (503) 238-7433 www.trimet.org

Northwest Natural Gas (800) 422-4012 www.nwnatural.com

Portland General Electric (503) 228-6322 www.portlandgeneral.com

West Slope Water District (503) 292-2777 www.wswd.org

Clean Water Services Sewer (503) 681-3600 www.cleanwaterservices.org

Waste Management (800) 808-5901 www.wm.com

Beaverton School District (503) 356-4500

www.beaverton.k12.or.us

CHANGE OF ADDRESS

USPS

Below is the website if you would like to change your address online or you can visit your local post office, they will provide you with the change of address packet. https://moversguide.usps.com

Benefits you will receive when you change your address online are:

Exclusive mover savings coupons

Safe and secure with identity verification by a simple $100 charge to your credit or debit card

Email confirmation at the end of registration of your change of address

* Must have valid email address and credit card to register online

AUTO REGISTRATION AND DRIVER LICENSING

Below is the website if you would like to change your address online or you can visit your local DMV office.

Oregon Department of Transportation DMV Services 1905 Lana Avenue NE Salem, OR 97314-0100

wwworegondmvcom/oregon/indexhtm

General DMV Information Contact: 503-299-9999

VOTERS REGISTRTION

TO REGISTER TO VOTE, YOU MUST BE:

A citizen of the USA

A resident of Oregon

A Legal Resident of Oregon State at least 18 years of age on or before the next election

HOW TO REGISTER

To register to vote online you will need an Oregon driver's license, permit or ID card number issued by the Oregon Driver and Motor Vehicle Services Division (DMV)

If you do not have an Oregon driver's license, permit or ID card, you can still use the online voter registration application. The information you enter will display on a voter registration card (PDF document) that you will need to print, sign and deliver to your county elections office to complete your registration.

REGISTRATION DEADLINE

A new registrant must submit their online registration by 11:59:59 p.m. Pacific Time on the 21st calendar day before an election to be eligible to vote in that election.

CHANGE OF ADDRESS

If you move to a new county, you must complete a new voter registration, otherwise you must request a transfer of your registration

Clackamas County Voter Registration: 503-655-8510

Multnomah County Voter Registration: 503-988-3720

Washington County Voter Registration: 503-846-5800

MOVING CHECKLIST

UTILITIES

Electric

NWNaturalGas

WaterDistrict

SewerDistrict

GarbageProvider

Cable/Satellite

Fuel(Propane)

PhoneServices

Internet

FINANCIAL

BanksandCreditUnions

CreditCardCompanies (includingdepartmentstorecreditcards)

Lenders

(Mortgage,HomeEquity,Auto,StudentLoans)

InsuranceCompanies

(Health,Renters,Auto,Home,Medical,Dental,Disability,Life)

Retirement (Pensionplans,401K,SocialSecurity,VeteransAffairs)

Investments(InvestmentAgenciesandBrokers)

OnlineBillPayer

Paypal

GOVERNMENT

USPostOffice

DepartmentofMotorVehicles

(Obtainyourdriver’slicenseandchangevehicleregistration)

IRS

PassportOffice

VeteranAffairs

UnemploymentOffice

(Ifyouarecurrentlyreceivingunemploymentbenefits)

HEALTH

Physician

Pharmacies

SERVICE PROVIDER

Childcare

Housecleaning Services

Delivery Services

Lawn Care Services

Veterinarian

Pool Service

MEMBERSHIPS

Health Clubs

Membership Clubs(AAA or similar)

Community Groups (PTA, Neighborhood Associations, Civic Clubs)

Children’s Extracurricular

Activities(Dance Classes, Music Lesson, Sports Clubs)

SUBSCRIPTIONS

Newspapers

Magazine(USPS will only forward 2 months)

Movie Subscriptions

Book or Music Clubs

OTHER

Friends and Family

Employers(typically notify the HR Department)

MOVING CHECKLIST 8

8 WEEK BEFORE YOU MOVE

InventorySheets:Createaninventorysheetofallyour belongingswhichneedtobemoved

ResearchMovingOptions:You’llneedtodecideifyoursisa do-it-yourselfmoveorifyou’llbeusingamovingcompany

RequestMovingQuote:Solicitmovingquotesfromasmany movingcompaniesandmoversaspossible Therecanbea largedifferencebetweenratesandserviceswithinmoving companies

DiscardUnnecessaryItems:Movingisagreattimefor riddingyourselfofunnecessaryitems Haveayardsaleor donateunnecessaryitemstocharity

PackingMaterial:Gathermovingboxesandpacking materialforyourmove

ContactInsuranceCompanies:You’llneedtocontactyour insuranceagenttocancel/transferyourinsurancepolicy

1 WEEK BEFORE YOU MOVE

YourChangeofAddress:Changeyouraddresswiththe USPS,DMV,FinancialInstitutions,Utilities,Government Offices,HealthCareServiceProviders,Memberships, SubscriptionsandInsuranceProvisions

BankAccounts:Transferorclosebankaccountsifchanging banks Makesuretohaveamoneyorderforpayingthe movingcompany

ServiceAutomobiles:Ifautomobilesaretobedrivenlong distance,you’llwanttohavethemservicedsoyouhavea trouble-freedrive

CancelServices:Notifyanyremainingserviceproviders (newspapers,lawnservices,etc)ofyourmove

TravelItems:Setasideallitemsyou’llneedwhiletraveling Makesurethesearenotpackedonthemovingtruck

ContactUtilityCompanies:Setutilityturnoffdate,seek refundsanddepositsandnotifythemofyournewaddress

4 WEEK BEFORE YOU MOVE

StartPacking:Beginpackingallthingsdestinedforyournew location

ObtainYourMedicalRecords:Contactyourdoctor,physician, dentistandothermedicalspecialistswhomaycurrentlybe retaininganyofyourfamily’smedicalrecords Obtainthese recordsormakeplansforthemtobedeliveredtoyournew medicalfacilitiesifchanging Securityiscriticalofpersonal records

NoteFoodInventoryLevels:Checkyourcupboards, refrigeratorandfreezer Useupasmuchofyourperishable foodaspossible

SmallEngines:Servicesmallenginesforyourmoveby extractinggasandoilfromthemachines Thiswillreduce thatchancetocatchfireduringyourmove

ProtectJewelryandValuables:Transferyourjewelryand valuablestoasafetydepositbox;youdon’twantthemtobe lostorstolenduringyourmove

BorrowedandRentedItems:Returnitemsthatyoumay haveborrowedorrented Collectitemsborrowedtoothers

MOVING DAY

PlanYourItinerary:Makeplanstospendtheentiredayat thehouseoratleastuntilthemoversareontheirway

Someonewillneedtobearoundtomakedecisions Make plansforkidsandpetstobeatasittersfortheday

ReviewtheHouse:Oncethehouseisempty,checkthe entirehouse(closets,attic,basement,etc)toensureno itemsareleftornohomeissuesexist

DoubleCheckWithYourMover:Ensurethemoverhasthe newpropertyaddressandallofyourmostrecentcontact information,shouldtheyhaveanyquestionsduringyour move

VacateYourHome:Makesureutilitiesareoff,doorsand windowsarelockedandnotifyyourrealestateagentyou’ve vacatedtheproperty

QuestionsToAsk:Whereisthegaragedooropener?Where arethekeystothehouse,mailboxandotherlockablearea? Didyouretrieveallkeysfromneighborsandfriends?

THE HOME DEPOT

(800) 466-3337 wwwhomedepotcom

Beaverton (503) 469-4242 4401 SW 110th Ave Beaverton, OR 97005

S Beaverton (503) 646-1525

13700 NW Science Pk Dr Portland 97229

Clackamas (503) 774-6372

9300 SE 82nd Ave Happy Valley, OR 97086

Hillsboro (503) 693-9090

1950 SE Minter Bridge Rd Hillsboro 97123

Jantzen Beach (503) 289-9200

1728 N Tomahawk Island Dr Portland 97217

Oregon City (503) 723-3181 2002 Washington St Oregon City, OR 97045

E Portland (503) 261-8543

10120 SE Washington St Portland 97216

NE Portland (503) 252-0188

11633 NE Glen Widing Dr Portland 97220

Sherwood (503) 925-8447

20260 SW Pacific Hwy Sherwood, OR 97140

Tigard (503) 639-3500

14800 SW Sequoia Parkway Tigard 97224

MOVING RESOURCES

THE HOME DEPOT CONTINUED

Troutdale (503) 674-3944

25101 SE Stark St Troutdale, OR 97060

LOWES (800) 466-3337 wwwlowescom

Hillsboro (503) 844-6200

1951 SE 24th Ave Hillsboro, OR 97123

Milwaukie (503) 794-2500

13631 SE Johnson Rd. Milwaukie 97222

Portland (503) 737-3000

1160 N Hayden Meadows Dr Portland 97217

Tigard (503) 624-2644

12615 SW 72nd Ave Tigard, OR 97223

Wood Village (503) 667-1005

1000 NE Wood Village Blvd Wood Village, OR 97060

DONATION FACILITIES

Goodwill (800) 741-0186 locatorgoodwillorg

The Salvation Army (800) 958-7825 wwwsalvationarmyusaorg

Value Village (800) 958-7825 wwwvaluevillagecom

MOVING TRUCK RENTALS

Budget (800) 462-8343 wwwbudgettruckcom

Penske (888) 996-5415 wwwpensketruckrentalcom

Ryder (800) 297-9337 wwwrydercom

U-Haul (800) 468-4285 wwwuhaulcom

STORAGE COMPANIES

NW Self Storage wwwnwselfstorage

Public Storage (800) 906-0879 wwwpublicstoragecom

Pods (888) 309-8967 wwwpodscom

TRANSFER STATIONS Garbage/Recycling

Metro Center (503) 234-3000

wwworegonmetrogov 6161 NW 61st Ave Portland, OR 97210

Metro South (503) 234-3000

wwworegonmetrogov

2001 Washington St Oregon City, OR 97045

RESOURCE GUIDE

AIRPORT

Portland International Airport (877) 793-4690 www.flypdx.com

AUTO & DRIVER REGISTRATION

DMV (503) 945-5000 wwwodotstateorus/dmv/

BUS SERVICE

C-Tran (360) 695-0123 wwwc-trancom

Greyhound (800) 231-2222 wwwgreyhoundcom

Tri-Met (503) 238-7433 wwwtri-metorg

CABLE TV & INTERNET

Verizon (888) 881-8161 wwwverizoncom

XFINITY (Comcast) (800) 934-6489 wwwcomcastcom

CITY CONTACT

Banks (503) 324-5112 www.cityofbanks.org

Beaverton (503) 526-2222 wwwcibeavertonorus

Canby (503) 266-4021 wwwcicanbyorus

CITY CONTACT CONTINUED

Cornelius (503) 357-9112 www.ci.cornelius.or.us

Damascus (503) 658-8545

wwwcidamascusorus

Estacada (503) 630-8270 wwwcityofestacadaorg

Fairview (503) 665-7929

wwwcifairvieworus

Forest Grove (503) 359-3200 wwwciforest-groveorus

Gaston (503) 985-3340

Gladstone (503) 656-5225 wwwcigladstoneorus

Gresham (503) 661-3000 wwwcigreshamorus

Happy Valley (503) 760-3325 wwwcihappy-valleyorus

Hillsboro (503) 681-6100 wwwhillsboro-oregongov

King City (503) 639-4082

www.ci.king-city.or.us

Lake Oswego (503) 635-0270 wwwcioswegoorus

Milwaukie (503) 786-7525 wwwcicityofmilwaukieorg

CITY CONTACT CONTINUED

Molalla (503) 829-6855 wwwcityofmolallacom

North Plains (503) 647-5555 wwwnorthplainsorg

Oregon City (503) 657-0891 wwwciorcityorus

Portland (503) 823-4000 wwwportlandonlinecom

River Grove (503) 639-6919

Sandy (503) 668-5533 wwwcisandyorus

Sherwood (503) 625-5522 wwwcisherwoodorus

Tigard (503) 639-4171 wwwcitigardorus

Troutdale (503) 665-5175 wwwcitroutdaleorus

Tualatin (503) 692-2000 www.tualatinoregon.gov

West Linn (503) 657-0331 wwwwestlinnoregongov

Wilsonville (503) 682-1011 wwwciwilsonvilleorus

Wood Village (503) 667-6211 wwwciwood-village-orus

COUNTY CONTACTS

Clackamas (503) 655-8011 www.co.clackamas.or.us Taxation (503) 655-8671

Multnomah (503) 248-3511 wwwcoclackamasorus Taxation (503) 988-3326

Washington (503) 846-8611 wwwcoclackamasorus Taxation (503) 846-8741

ELECTRICITY

Pacific Power (888) 221 7070 wwwpacificpowernet

Portland General (800) 542-8818 wwwportlandgeneralcom

HOSPITALS

Adventist Medical (503) 257-2500 wwwadventisthealthnwcom

Doernbecher Children’s Hospital (503) 494-8311 wwwohsuedu

Legacy Good Samaritan (503) 413-4683 wwwlegacyhealthorg

Legacy Emanuel (503) 413-2200 www.legacyhealth.org

RESOURCE GUIDE

HOSPITALS CONTINUED

Legacy Meridian Park (503) 692-1212 www.legacyhealth.org

Legacy Mt Hood (503) 674-1122 wwwlegacyhealthorg

Kaiser Permanente Sunnyside (503) 813-2000 wwwkaiserpermanenteorg

Kaiser Permanente Westside (503) 813-2000 wwwkaiserpermanenteorg

OHSU (503) 494-8311 wwwohsuedu

Providence Milwaukie (503) 513-8300 wwwprovidenceorg

Providence Portland (503) 215-1111 www.providence.org

Providence St Vincent (503) 216-1234 wwwprovidenceorg

Providence Willamette Falls (503) 656-1631 wwwprovidenceorg

Shriner’s Hospital (503) 241-5090 wwwshrinershqorg

Tuality Community (503) 681-1111 wwwtualityorg

Tuality Forest Grove (503) 357-2173 www.tuality.org

NATURAL GAS

NW Natural (800) 422-4012 www.nwnatural.com

NEWSPAPERS

The Columbian (360) 694-3391 wwwcolumbiancom

The Oregonian (503) 221-8240 wwworegonlivecom

Willamette Weekly (503) 243-2122 wwwwweekcom

RECREATION

Convention Center (503) 235-7575 wwworegonccorg

Expo Center (503) 736-5200 wwwexpocenterorg

Mt Hood Meadows (503) 337-2222 wwwmthoodmeadowscom

OMSI (503) 797-4000 www.omsi.edu

Oregon Zoo (503) 266-1561 wwworegonzoocom

Portland International Raceway (503) 823-7223 wwwportlandracewaycom

Portland Art Museum (503) 266-2811 wwwpamorg

RESOURCE GUIDE

RECREATION CONTINUED

Providence Park (503) 553-5400 www.providenceparkpdx.com

Regal Cinemas (800) FANDANGO wwwregalcinemascom

Moda Center (503) 797-9619 wwwrosequartercom

Willamette Jetboat (503) 231-1532 wwwwillamettejetcom

SHOPPING

Bridgeport Village (503) 968-1704 www.bridgeport-village.com

Cedar Hills Crossing (503) 643-6563 wwwcedarhillscrossingcom

Clackamas Town Center (503) 653-6913 wwwclackamastowncentercom

Columbia Gorge Outlets (503) 669-8060 wwwpremiumoutletscom/ columbiagorge

Lloyd Center (503) 282-2511 wwwlloydcentercom

Mall 205 (503) 255-5805

Pioneer Place (503) 228-5800 wwwpioneerplacecom

SHOPPING CONTINUED

Streets of Tanasbourne (503) 533-0561 www.streetsoftanasbourne.com

Washington Square (503) 369-8860 wwwshopwashingtonsquarecom

Woodburn Outlets (888) 664-SHOP wwwwoodburncompanystorescom

TELEPHONE SERVICE

Verizon (800) 483-4100 wwwverizoncom

AT&T (800) 288-2020 www.att.com

TRANSFER STATIONS

Metro Center (503) 234-3000

wwworegonmetrogov 6161 NW 61st Ave Portland, OR

Metro South (503) 234-3000 wwworegonmetrogov 2001 Washington St Oregon City, OR

Clackamas County (503) 668-8885 wwwwmnorthwestcom 19600 SE Canyon Valley Rd. Sandy, OR

VOTER REGISTRATION

Clackamas (503) 655-8510

Multnomah (503) 248-3720

Washington (503) 846-5800

WATER BUREAU

Beaverton (503) 526-2257

Clackamas (503) 722-9220

Gladstone (503) 656-5223

Gresham (503) 618-2373

Hillsboro (503) 681-6228

Lake Oswego (503) 635-0265

Milwaukie (503) 786-7525

Oregon City (503) 657-8151

Portland (503) 823-7770

Tigard (503) 639-1554

Tualatin (503) 692-2000

West Linn (503) 656-4261

Wilsonville (503) 682-1011

CYBER SECURITY

g p , g being sent to an outside account and never credited to the intended party

To protect and reduce your risk, WFG has implemented the following procedures for outgoing and incoming wires:

Outgoing Wire from WFG to seller or borrower for proceeds

In the escrow paperwork provided you will be asked to provide written instructions on how you want funds due you sent to you at the close of escrow If you choose to have the funds sent via wire transfer, WFG will contact you by phone to confirm the wire information provided.

Incoming Wires from the buyer and/or lender to WFG bank account

For funds that are to be wired to WFG for your transaction, we will send specific wire instructions to the remitting person via an encrypted email. We recommend you reach out to your WFG contact to confirm the wire instructions prior to remittance.

We look forward to processing your escrow transaction for you. We know that this can be a stressful time and we are here to assist you in any way we can to make this a good experience

http://nationalwfgnationaltitlecom/2016/04/05/obsess-cyber-security/

OWNERS TITLE INSURANCE Why it's important

claims, or restrictions on the buyers property, other than the mortgage the buyer agrees to pay.

If the preliminary title search uncovers potential problems, a buyer can require that those problems be satisfactorily dealt with before closing on the home.

In addition, owner’s title insurance protects buyers against a myriad of risks that not even the most careful title search can uncover, including things such forged documents, undisclosed or missing heirs of a previous owner, fraud, will disputes, and unrecorded claims of many types.

Without owner’s title insurance, the legal costs to resolve such title claims could easily be in the tens of thousands of dollars and would have to be paid out of pocket by the buyer - not to mention the stress that such situations would cause to the buyer

Owner’s title insurance is one of the most affordable insurance policies a person can ever buy Unlike other forms of insurance, there is only a one-time fee at closing for the policy, which financially protects the buyer’s investment for as long as the buyer or the buyer’s heirs own the home.

So, if someone tells the buyer that owner’s title insurance is “optional”, that certainly does not mean that the buyer should not get it. Virtually every lender requires lender’s title insurance, but that insurance does not protect the buyer.

In order to safeguard the buyer’s investment in the property, which is possibly the most important investment the buyer will ever make, owner’s title insurance is absolutely critical.

WHAT IS ESCROW?

Both the buyer and seller rely on the escrow agent to carry out their written instructions relating to the transaction and to advise them if any of their instructions are not mutually consistent or cannot be carried out. If the instructions from all parties to an escrow are clearly drafted, the escrow officer can proceed on behalf of the buyer and seller without further consultation. This saves much time and facilitates the closing of the transaction.

TYPICAL ROLES IN THE CLOSING PROCESS

The Seller/Agent

Delivers a fully executed Purchase Sale Agreement to the escrow agent.

Executes the paperwork necessary to close the transaction

The Buyer/Agent

Deposits collected funds required to close (in with the escrow agent

Approves the commitment for title insurance, or other items as called for by the Purchase Sale Agreement

Executes the paperwork and loan documents necessary to close the transaction

The Lender

Deposits loan documents to be executed by the buyer

Deposits the loan proceeds

Directs the escrow agent of the conditions under which the loan funds may be used

The Escrow Agent

Clears Title

Obtains title insurance

Obtains payoffs and release documents for underlying loans on the property

Receives funds from the buyer and/or lender. Prepares vesting document affidavit on seller’s behalf

Prorates insurance, taxes, rents, etc

Prepares a final statement (often referred to as the “HUD Statement” or ”Settlement Statement”) for each party, indicating amounts paid in conjunction with the closing of your transaction

Forwards deed to the county for recording

Once the proper documents have been recorded, the escrow agent will distribute funds to the proper parties

In Summary

Escrow is the process that assembles and processes many of the components of a real estate transaction. The sale is officially closed when the new deed is recorded and funds are available to the seller, thus transferring ownership from the seller to the buyer

The escrow agent is a neutral third party acting on behalf of the buyer and seller.

WHAT IS TITLE?

About Title Insurance

Title is a bundle of rights in real property. Protecting purchasers and lenders against loss is accomplished by the issuance of a title insurance policy Usually, during a purchase transaction, the lender requests a policy (commonly referred to as the Lender’s Policy) while the buyers receive their own policy (commonly referred to as an Owner's Policy)

In short, the policy states that if the status of the title to a parcel of real property is other than as represented, and if the insured (either the owner or lender) suffers a loss as a result of a title defect, the insurer will reimburse the insured for that loss and any related legal expenses, up to the face amount of the policy, subject to exceptions and exclusions contained in the policy

Typically there are two policies issued. The Mortgagee’s Policy insures the lender for the amount of the loan. The Owner’s Policy insures the purchaser of the purchase price.

How is title insurance different from other types of insurance?

While the function of most other forms of insurance is risk assumption through the pooling of risks for losses arising out of unforeseen future events (such as sickness or accidents), the primary purpose of title insurance is to eliminate risks and prevent losses caused by defects in title arising out of events that have happened in the past To achieve this goal, title insurers perform an extensive search and examination of the public records to determine whether there are any adverse claims (title defects) attached to the subject property Said defects/claims are either eliminated prior to the issuance of a title policy

or their existence is excepted from coverage. Your policy is issued after the closing of your new home, for a one-time nominal fee, and is good for as long as you own the property

What’s involved in a title search? A title search is actually made up of three separate searches:

Chain of Title – History of the ownership of the subject property

Tax Search – The tax search reveals the status of the taxes and assessments

Judgment and Name Search – Searches for judgment and liens against the owners’ and purchasers’ names

Once the three searches have been completed, the file is reviewed by an examiner who determines:

Whether or not the Chain of Title shows that the party selling the property has the right to do so The status of taxes for the subject property The Tax Search will also indicate the existence of any special assessments against the land and whether or not these assessments are current or past due

Whether there are any unsatisfied judgments on the Judgment and Name Search against the previous owners, sellers, or and purchasers.

Rights established by judgment decrees, unpaid federal income taxes and mechanic liens all may be prior claims on the property, ahead of the buyer’s or lender’s rights The title search will only uncover defects in title that are of public record, thus allowing the title company to work with the seller to clear up these issues and provide the new buyer with title insurance

In Summary

After the searches have been examined, the title company will issue a commitment, stating the conditions under which it will insure title The buyer, seller and the mortgage lender will proceed with the closing of the transaction after clearing up any defects in the title that have been uncovered by the search and examination

WHO PAYS WHAT IN OREGON

SELLER PAYS

TYPICAL COSTS

The following costs generally affect all transactions:

Escrow Fee - one-half of the fee, based on title company’s fee schedule

Recording Fees - based on county fee schedule

Title Premium - based on fixed statewide fee schedule

Real Estate Commission - based on agreement with Broker

Tax Prorate - to apportion taxes between parties as of date of closing

General Costs - as listed for each specific transaction, as requested by principals

Release fees for loan payoff(s)

LAND SALE CONTRACT TRANSACTION

Attorney Fee - optional, and is sometimes shared with purchaser

Collection Escrow Setup Fee - optional, and is often shared with purchaser

ASSIGNMENT OF CONTRACT FOR ASSUMPTION OF LOAN TRANSACTION

Any delinquent payments to bring contract or loan current

Prorate share of current month’s interest based on current rate

CONVENTIONAL, FHA, VA LOAN TRANSACTIONS

Any closing cost (not expenses of property or loan interest) negotiated on behalf of the purchaser, subject to lender’s approval

FHA, VA Loans - check with lender for any applicable seller costs

BUYER PAYS

TYPICAL COSTS

The following costs generally affect all transactions:

Escrow Fee - one-half of the fee, based on title company’s fee schedule

Recording Fees - based on county fee schedule

Fire Insurance Premium - mandatory when any lender is involved, including the seller’s lender

Tax Prorate - to apportion taxes between parties as of date of closing

General Costs - as listed for each specific transaction, as requested by the principals

LAND SALE CONTRACT TRANSACTION

Attorney Fee - optional, and is sometimes shared with seller

Collection Escrow Setup Fee - optional, and is sometimes shared with seller

Recording Fee - for contract or memorandum thereof

ASSIGNMENT OF CONTRACT FOR ASSUMPTION OF LOAN TRANSACTION

Assumption or Assignment

Next monthly payment due, if required by lender

Recording Fee - for Assumption/Assignment of Agreement, if required by lender

CONVENTIONAL, FHA, VA LOAN TRANSACTIONS

Lenders title insurance policy & endorsements, as required by lender

Loan Fee - as required by lender

Credit Report Fee - as required by lender

Appraisal Fee - as required by lender

Mortgage Insurance Premium - based on fee schedule and endorsements of lender

Prepaid Interest - if required by lender

VA Loans only - funding fee, if required by lender

FHA, VA, and some Conventional Loans - reserves for real property taxes, fire insurance and mortgage insurance

TITLE VESTING

Common ways to hold title to real property

ASANINDIVIDUAL

Anindividualmayholdtitleinhisorhernameonly,regardlessofwhetherornotmarried–eg “JaneSmith,an individual” Thatindividualthenownsallrightstotheproperty,whichcanbesoldortransferredtoothersviawill ortrust Whileadivorceispending,however,ifthepropertywasacquiredduringthemarriageitwilllikelybe treatedaspartofthemaritalestateandthusbesubjecttocourtauthority.

ASTENANTSBYTHEENTIRETY

Aconveyancetoahusbandandwifecreatesatenancybytheentirety–eg “JohnSmithandJaneSmith, husbandandwife,astenantsbytheentirety” Thiscreatesasurvivorshipestate,whichmeansthatifonespouse dies,his/herinterestwillautomaticallygotothesurvivingspouse.Ahusbandandwifemayalsotaketitleas tenantsincommon(discussedbelow)iftheintentiontoholdtitleinthatmannerisexpresslystated

ASTENANTSINCOMMON

Unlessaconveyanceexpresslyprovidesthatthepartiesintendtocreateasurvivorshipestate(discussedbelow), aconveyancetotwoormorepersonswhoarenotmarriedcreatesatenancyincommoninwhicheachhas (unlessotherwisestated)anequalundividedinterestintheproperty–eg “JohnSmithandRobertJones,as tenantsincommon,eachastoanundivided50%interest” Eachtenantincommonthenownsanundivided interestintheentireproperty,whichcanbesoldortransferredtoothersviawillortrust

ASASURVIVORSHIPESTATE

Twoormorepersonswhoarenotmarriedmayalsoholdtitleastenantsincommonwitharightofsurvivorship, aslongasthesurvivorshipdeclarationisexpresslycontainedinthedeed–eg “JohnSmithandRobertJones, notastenantsincommon,butwiththerightofsurvivorship” Thiscreatesasurvivorshipestate,whichmeans thatifonepartydies,his/herinterestwillautomaticallygotothesurvivorandcannotbesoldduringthelifetime ofortransferredviawillortrustbythepartywhodiesfirst

ASREGISTEREDDOMESTICPARTNERS

Registereddomesticpartnersmaytaketitleas(i)tenantsincommon–e.g.“JaneSmithandMaryJones, registereddomesticpartners,astenantsincommon,eachastoanundivided50%interest”,or(ii)ina survivorshipestatesimilartothatofatenancybytheentirety–eg “JaneSmithandMaryJones,asregistered domesticpartnerswithrightofsurvivorship”

ASASAMESEXMARRIEDCOUPLE

Samesexmarriedcouplesmaytaketitleas(i)tenantsincommon–eg “JohnSmithandRobertSmith,a marriedcouple,astenantsincommon,eachastoanundivided50%interest”,or(ii)inasurvivorshipestate similartothatofatenancybytheentirety–eg JohnSmithandRobertSmith,amarriedcouplewithrightof survivorship,or(iii)astenantsbytheentirety–eg “JohnSmithandRobertSmith,amarriedcouple,astenants bytheentirety”.

ASANENTITY

Aregisteredentity,suchasacorporation,limitedliabilitycompanyorpartnership,mayholdtitle Titleshouldbe heldexactlyasthenameisregisteredwiththeOregonSecretaryofState–e.g.“Smith&Jones,LLC,anOregon limitedliabilitycompany”

DISCLAIMER–Theforegoingcontainsinformationalexamplesonlyandisnottobeconstruedaslegaladvice Giventhecomplexitiesinvolvedinacquiringandholding legaltitletorealproperty,WFGstronglyrecommendsthatyouseeklegaladvicefromanattorneypriortodoingso

ADMINISTRATIVE

12909 SW 68th Pkwy Ste. 350 Portland, OR 97223 503-431-8500

CLACKAMAS

9200 SE Sunnybrook Blvd Ste 350 Clackamas, OR 97015 503-353-9975

LAKE OSWEGO

5885 Meadows Rd. Ste 150 Lake Oswego, OR 97035 503-624-4900

LLOYD/COMMERCIAL

NW PORTLAND 25 NW 23rd Pl Ste. 1 Portland, OR 97210 503-219-9088

SUNSET

2430 NW 206th Ave Ste 125 Beaverton, OR 97006 503-533-9510

BETHANY 1500 NW Bethany Blvd. Ste 155 Beaverton, OR 97006 503-850-3990

DOWNTOWN VANCOUVER 101 E 6th St Ste 125 Vancouver, WA 98660 360-314-0300

SALMON CREEK

2105 NE 129th St Ste 107 Vancouver, WA 98686 360-314-1818

VANCOUVER MALL

5101 NE 82nd Ave. Ste 102 Vancouver, WA 98662 360-891-5454

EAST VANCOUVER 2004 SE 192nd Ave Ste 100 Vancouver, WA 98683 360-356-9990 1 2 3 5 6 7 8 9 10 4 11

700 NE Multnomah St Ste 190 Portland, OR 97232 503-230-8488

Beaverton, OR 97005

REPORT FOR 8/21/2024

Single-Family Homes

This week the median list price for Beaverton, OR 97005 is $550,000 with the market action index hovering around 66. This is less than last month's market action index of 68 Inventory has increased to 21.

Market Action Index

This answers “How’s the Market?” by comparing rate of sales versus inventory.

Real-Time Market Profile

Median List Price $550,000 Median Price of New Listings $500,000 Per Square Foot $342

Days

Strong Seller's Market

The market has been cooling over time and prices plateaued for a while Despite the consistent decrease in MAI, we’re in the Seller’s zone. Watch for changes in MAI. If the MAI resumes its climb, prices will likely follow suit If the MAI drops consistently or falls into the Buyer’s zone, watch for downward pressure on prices.

Market Segments

Strong Seller's Market

Each segment below represents approximately 25% of the market ordered by price.

Median List Price

Again this week we see prices in this zip code remain roughly at the level they’ve been for several weeks. Since we’re significantly below the top of the market, look for a persistent up-shift in the Market Action Index before we see prices move from these levels.

Segments

In the quartile market segments, we see the upper end of the market in this zip code showing weakness. While there is enough demand in the low end (Quartiles 3 and 4) to keep prices flat, unless there is a persistent up-shift in the Market Action Index, the entire market may resume a down trend soon.

Price Per Square Foot

While prices have been basically flat, the price per square foot has been heading downward. While not a sign of broad strength in a market, larger homes are coming more available and buyers are tending to get more home for their money. 7-Day

Inventory has been climbing lately. Note that rising inventory alone does not signal a weakening market. Look to the Market Action Index and Days on Market trends to gauge whether buyer interest is keeping up with available supply.

Market Action Index

The market has been cooling over time and prices plateaued for a while. Despite the consistent decrease in MAI, we’re in the Seller’s zone. Watch for changes in MAI. If the MAI resumes its climb, prices will likely follow suit. If the MAI drops consistently or falls into the Buyer’s zone, watch for downward pressure on prices.

Not surprisingly, all segments in this zip code are showing high levels of demand. Watch the quartiles for changes before the whole market changes. Often one end of the market (e.g. the high-end) will weaken before the rest of the market and signal a slowdown for the whole group.

Median Days on Market (DOM)

The properties have been on the market for an average of 67 days. Half of the listings have come newly on the market in the past 21 or so days. Watch the 90-day DOM trend for signals of a changing market.

Segments

It is not uncommon for the higher priced homes in an area to take longer to sell than those in the lower quartiles.

Instant access to

WFG’s MyHome® provides full transparency, real-time updates, and post-closing home information in a secure built with YOU in mind.

Contact information for

Sign up for an account at https://myhome.wfgtitle.com today!

Click Register for MyHome® account on a MyHome® email to https://myhome. wfgtitle.com

Complete a brief registration form. Use your email address on immediate access.

via text, email, or

for your transaction

your escrow team

CONSUMER EXPERIENCE TIMELINE

TRANSACTION CLOSED

GATHER UP

SIGNING SCHEDULED

CLOSE TO SIGNING

TITLE CLEARED

UPDATER INVITATION

TITLE REPORT DELIVERED

TRANSACTION STARTED

MIDPOINT FEEDBACK

EARNEST MONEY

Turn static files into dynamic content formats.

Create a flipbook
Issuu converts static files into: digital portfolios, online yearbooks, online catalogs, digital photo albums and more. Sign up and create your flipbook.