Skip to main content

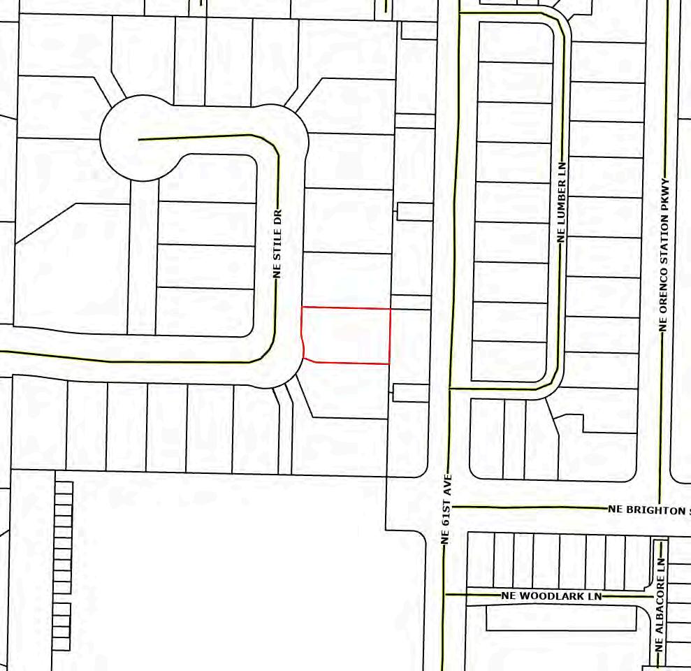
1648 Stile Dr- Home Profile

Page 1


SCAN HERE

PROPERTY ADDRESS

1648 NE STILE DR

HILLSBORO, OR 97124

OWNER INFORMATION

OWNER NAME: Murphy Family Trust

VESTING: Family Trust

MAILING ADDRESS: 16600 Mount Todd St Fountain Valley CA 92708

OWNER STATUS: Non-owner occupied

LOCATION DESCRIPTION

COUNTY: Washington

CENSUS / BLOCK: 032608 / 2021

TSP - RNG - SEC: 01N - 02W - 27

LOT / BLOCK: 9 /

HOUSING TRACT: Orenco Landing

ALT PARCEL #: R2185309

SCHOOL DISTRICT: Hillsboro

MUNICIPALITY: Hillsboro PARCEL #: R2185309

LAST MARKET SALE

DATE: 05/17/2021

PRIOR SALE

DATE: 05/21/2019 SALE PRICE: $808,000

PROPERTY DETAILS

PROPERTY CHARACTERISTICS

GROSS AREA: 2,747

LIVING AREA: ABOVE GRADE:

BEDROOMS: 3

BATHROOMS: 3

FIREPLACE: 1

YEAR BUILT: 2014

PARKING TYPE: Attached Garage

UNITS: 1

BASEMENT:

GARAGE AREA: 958

ROOF SHAPE:

FOUNDATION: 01

ROOF MATERIAL: Composition Shingle

CONSTRUCTIONS: Wood

HEAT TYPE: Forced air unit

COOLING TYPE:

EXTERIOR WALL: Wood

ROOMS:

QUALITY:

INTERIOR WALL:

PORCH TYPE:

PATIO TYPE:

AIR COND: Y

FIXTURES:

FLOOR: EQUIPMENT:

STORIES: POOL:

CONDITION: Fair

PROPERTY INFORMATION

LAND USE: Residential Improved

ZONING: Low Density Residential

COUNTY USE: Residence Single Family

LOT ACRES: 0.14 STATE USE: LOT SQ FT: 6,098

LEN / WID:

TAXES AND ASSESSMENT INFORMATION

ASSD YEAR: 2025

ASSD VALUE: $644,800

TAXABLE VAL:

TAX YEAR: 2025

LAND VALUE: $300,000

MKT VALUE: $930,550

TAX AREA: 1.12

IMP VALUE: $630,550

EXEMPTIONS:

PROPERTY TAX: $10,578.70

IMPROVED %: 68 DISTRICT:

AREA HISTORY

ASSESSOR MAP

STREET

AERIAL MAP

CITY BOUNDARY MAP

SCHOOLS

Hillsboro School District

ELEMENTARY SCHOOLS

NAME: West Union Elementary School

CHARTER SCHOOL: No

ADDRESS: 23870 Nw West Union Rd MAGNET SCHOOL:

CITY, STATE, ZIP: Hillsboro, OR 97124

PHONE: (503)844-1620

DESCRIPTION: 41-Rural: Fringe

2.86 mile(s)

GRADES: Kindergarten - 6th Grade TITLE ONE: 2-No

NAME: Quatama Elementary School

ADDRESS: 6905 Ne Campus Way

CITY, STATE, ZIP: Hillsboro, OR 97124

PHONE: (503)844-1180

GRADES: Kindergarten - 6th Grade

MIDDLE SCHOOLS

NAME: R A Brown Middle School

CHARTER SCHOOL: No

ONE: 2-No

CHARTER SCHOOL: No

ADDRESS: 1505 Sw Cornelius Pass Rd MAGNET SCHOOL:

CITY, STATE, ZIP: Hillsboro, OR 97123

PHONE: (503)844-1070

GRADES: 7th Grade - 8th Grade

NAME: J W Poynter Middle School

ADDRESS: 1535 Ne Grant St

CITY, STATE, ZIP: Hillsboro, OR 97124

PHONE: (503)844-1580

GRADES: 7th Grade - 8th Grade

HIGH SCHOOLS

NAME: Liberty High School

ADDRESS: 7445 Ne Wagon Dr

CITY, STATE, ZIP: Hillsboro, OR 97124

PHONE: (503)844-1250

GRADES: 9th Grade - 12th Grade

NAME: Century High School

ADDRESS: 2000 Se Century Blvd

1.96 mile(s)

ONE: 2-No

CHARTER SCHOOL: No

2.37 mile(s)

CHARTER SCHOOL: No

CHARTER SCHOOL: No

SCHOOL: CITY, STATE, ZIP: Hillsboro, OR 97123

PHONE: (503)844-1800

GRADES: 9th Grade - 12th Grade

2.21 mile(s)

ONE: 2-No

Students We Serve

OREGON AT-A-GLANCE DISTRICT PROFILE

Hillsboro SD 1J

SUPERINTENDENT: Travis Reiman | 3083 NE 49th Pl, Hillsboro 97124 | 503-844-1500

Academic Success

Students

Grade 3 ENGLISH LANGUAGE ARTS

Students

Grade 8

High School Success

ON-TIME GRADUATION

Students

Students

District Goals

HSD's goal and promise is to know, value, and empower every student to achieve their dreams. We will do this by: fostering a positive, supportive, and inclusive school and classroom culture that enables learning; providing learning experiences with clear purpose, engagement, and assessment to encourage students' active participation and to provide them with an opportunity to demonstrate their knowledge and skills; connecting each student with supports and enrichments; and ensuring that all students graduate with career, college-readiness, and life skills.

State Goals

The Oregon Department of Education is partnering with school districts and communities statewide to reach a 90% on-time graduation rate by 2027. Anchored in the pillars of Academic Excellence, Belonging & Wellness, and Accountability, ODE prioritizes evidence-based strategies that strengthen early literacy, improve attendance, and deepen student engagement. We are committed to eliminating opportunity and achievement gaps for historically underserved students. By investing in culturally responsive practices, cultivating inclusive school environments, and fostering a culture of continuous improvement, we can help ensure every student thrives.

Our Staff (rounded FTE)

OREGON AT-A-GLANCE DISTRICT PROFILE

Hillsboro SD 1J

GRADUATE

Students We Serve

OREGON AT-A-GLANCE SCHOOL PROFILE

West Union Elementary School

PRINCIPAL: Juliet Hong | GRADES: K-6 | 23870 NW West Union Rd, Hillsboro 97124 | 503-844-1620

CLASS SIZE

REGULAR ATTENDERS

Students

School Goals

West Union promotes student wellness, academic success, and social-emotional growth. In order to achieve these goals, we foster a climate and culture that promotes belonging and achievement, and continually strive to close the achievement gap. In the 2024-25 school year, we focused our attention on reading, language development, and social-emotional learning (embedding equity). West Union prioritizes communication, cohesion, and care with staff, students, and families.

MATHEMATICS

State Goals

The Oregon Department of Education is partnering with school districts and communities statewide to reach a 90% on-time graduation rate by 2027. Anchored in the pillars of Academic Excellence, Belonging & Wellness, and Accountability, ODE prioritizes evidence-based strategies that strengthen early literacy, improve attendance, and deepen student engagement. We are committed to eliminating opportunity and achievement gaps for historically underserved students. By investing in culturally responsive practices, cultivating inclusive school environments, and fostering a culture of continuous improvement, we can help ensure every student thrives.

Safe & Welcoming Environment

West Union recognizes the strength in diversity of all students, individuals, and groups. We are committed to educating and providing a safe and inclusive environment for everyone, regardless of their race, language, religion, sexual orientation, immigration status, etc. We believe students learn best when they are known, valued, and empowered. As a school, we will work toward offering enriching after-school clubs that foster identity, culture, and a sense of belonging.

Our Staff (rounded FTE)

OREGON AT-A-GLANCE SCHOOL PROFILE

West Union Elementary School

Outcomes

REGULAR ATTENDERS

ENGLISH LANGUAGE ARTS

Teachers

Educational assistants

Counselors/ Psychologists/ Social Workers

About Our School

BULLYING, HARASSMENT, AND SAFETY POLICIES

Our number one priority and goal is to ensure students are safe. We have a network of adults, systems, structures, protocols, and other supports we leverage to keep our school as safe as possible. To learn more, please visit www.hsd.k12.or.us/keepingstudentssafe. Ensuring safety also means that positive, respectful, and responsible behavior is expected at all times. We do not tolerate bullying or harassment. To learn more about the District’s definition and response to bullying and/or harassment, please see Board Policies JFCF and JFCFAR: Hazing, Harassment and Bullying, as well as the Standards of Student Conduct.

EXTRACURRICULAR ACTIVITIES

West Union is excited to offer a variety of after-school activities, including Healthy Kids Track & Field Club, Art Club, Coding Club, PlayFitFun!, Theatre Club, and Band.

PARENT ENGAGEMENT

Parents are welcome to join the West Union Community Club (WUCC). The Club focuses on supporting classrooms with resources, fundraising, and hosting events for staff and students throughout the year.

COMMUNITY ENGAGEMENT

West Union will create a parent advisory committee (PAC) to increase representation and voice. This work will focus on establishing a welcoming and brave space for families to gather, support, and learn together about navigating all aspects of the school experience and system.

Students We Serve

OREGON AT-A-GLANCE SCHOOL PROFILE

J W Poynter Middle School

PRINCIPAL: Jeremy Corwin | GRADES: 7-8 | 1535 NE Grant St, Hillsboro 97124 | 503-844-1580

REGULAR ATTENDERS

Students

MATHEMATICS

School Goals

At Poynter Middle School, our primary goals are to support student academic and social-emotional growth. We are committed to building a safe and welcoming community where all students feel connected. Our staff focuses on academic success by providing targeted supports, including AVID strategies and language assistance, to help every student find success. We also ensure students understand behavioral expectations and learn from their mistakes in a supportive environment.

State Goals

The Oregon Department of Education is partnering with school districts and communities statewide to reach a 90% on-time graduation rate by 2027. Anchored in the pillars of Academic Excellence, Belonging & Wellness, and Accountability, ODE prioritizes evidence-based strategies that strengthen early literacy, improve attendance, and deepen student engagement. We are committed to eliminating opportunity and achievement gaps for historically underserved students. By investing in culturally responsive practices, cultivating inclusive school environments, and fostering a culture of continuous improvement, we can help ensure every student thrives.

Safe & Welcoming Environment

Poynter Middle School is dedicated to fostering a safe, inclusive, and welcoming environment for every member of our diverse community. We prioritize building strong relationships between staff and students, as well as among students themselves. Our approach includes explicitly teaching school expectations, valuing student voice, and using social-emotional learning and restorative strategies to effectively resolve conflicts.

Our Staff (rounded FTE)

OREGON AT-A-GLANCE SCHOOL PROFILE

J W Poynter Middle School

Outcomes

REGULAR ATTENDERS

ENGLISH LANGUAGE ARTS

About Our School

BULLYING, HARASSMENT, AND SAFETY POLICIES

Poynter Middle School is dedicated to ensuring every student feels safe and valued. We build a positive school culture by focusing on character development and strong relationships. When bullying, harassment, or unsafe behavior occurs, staff and administrators are trained to intervene immediately and work with all students involved. Our approach prioritizes a swift, comprehensive response to address the behavior and support those affected. Additionally, a monthly safety committee evaluates and enhances our school's physical environment. This work has led to a very strong climate and culture at Poynter.

EXTRACURRICULAR ACTIVITIES

Poynter Middle School has many opportunities for students in extracurricular activities. In addition to elective classes like Drama, Art, Shop, Band and Choir, we offer a variety of clubs. Currently, we offer BSU, GSA, Latino Youth Program, API, Craft Club, Dungeons and Dragons, Homework Club, MESA, Musical Minds, Oregon Battle of the Books, and Yearbook Club. We also have opportunities to participate in Volleyball, Soccer, and Dodgeball.

PARENT ENGAGEMENT

Poynter Middle School values our families and works to keep our community informed and involved. We host an annual community night for families to meet teachers. Monthly principal chats provide an opportunity for families to learn about our school and provide feedback. We also send a weekly newsletter to keep everyone updated. Our active Latino Parent Committee meets monthly to ensure community voice is heard. A dedicated family liaison helps families navigate our school system and connect with community resources. In November, we hold conferences to discuss student progress, and in the spring, we welcome new families at our Poynter Preview.

COMMUNITY ENGAGEMENT

Poynter Middle works with the Hillsboro Schools Foundation, Hillsboro Airshow, and local organizations to give students multiple opportunities for engagement with the community.

Students We

OREGON AT-A-GLANCE SCHOOL PROFILE

Liberty High School

PRINCIPAL: Dennis Joule | GRADES: 9-12 | 7445 NE Wagon Dr, Hillsboro 97124 | 503-844-1250

REGULAR ATTENDERS

Students

Students earning a diploma within four years. Cohort includes

who were first-time ninth graders in 2020-21 graduating in 2023-24

FIVE-YEAR COMPLETION

Students earning a high school diploma or GED within five years. Cohort Includes students who were firsttime ninth graders in 2019-20 finishing in 2023-24

from

COLLEGE GOING

Students enrolling in a two or four year college within 12 months of completing high school in 202223. Data from the National Student Clearinghouse.

No change from previous year

School Goals

Liberty High School’s goals center on scaffolding support for all students to access academic rigor and graduate college and career ready. In order to know, value, and empower students to achieve their dreams, we must focus on developing and delivering equitable assessment practices, engaging learning environments, positive classroom cultures, and focused academic language instruction. Additionally, we target our most vulnerable students and utilize a 9th grade on-track team to ensure students begin high school feeling seen and supported as they work towards graduation and postsecondary opportunities.

State Goals

The Oregon Department of Education is partnering with school districts and communities statewide to reach a 90% on-time graduation rate by 2027. Anchored in the pillars of Academic Excellence, Belonging & Wellness, and Accountability, ODE prioritizes evidence-based strategies that strengthen early literacy, improve attendance, and deepen student engagement. We are committed to eliminating opportunity and achievement gaps for historically underserved students. By investing in culturally responsive practices, cultivating inclusive school environments, and fostering a culture of continuous improvement, we can help ensure every student thrives.

Safe & Welcoming Environment

Common expectations, social-emotional learning, and safety and security systems allow our students to feel safe, seen, and welcome on our campus. Technology, systems, and people support mental health, physical safety, and positive classroom environments across our campus. Students are connected through an advisor and access academic and social support through our Advisory and Falcon Time weekly schedule.

Our Staff (rounded FTE)

OREGON AT-A-GLANCE SCHOOL PROFILE

Liberty High School

Outcomes

REGULAR ATTENDERS

About Our School

ADVANCED COURSEWORK

Liberty High School is proud to be a College Board Advanced Placement school. At Liberty, students can access advanced course and college credit in: AP Language Arts, AP Calculus, AP Physics, AP Computer Science, AP US History, AP Government, AP Psychology, AP Spanish, and AP Studio Art. In addition, our students have several opportunities to earn high school and college credit in our long list of Dual Language courses.

CAREER & TECHNICAL EDUCATION

Liberty High School offers the following career-technical education programs: Industrial Technology and Engineering Systems, Graphic Design, Communication and Media, Business Education, Computer Technology, Early Childhood Education, Aviation and Aerospace Engineering, Sustainable Agriculture, Construction, Robotics and Engineering, and Culinary Arts.

EXTRACURRICULAR ACTIVITIES

Liberty High School extracurricular activities include OSAA Athletics, OSAA Activities, OSAA Arts (Band, Choir, Theater, and Marching Band), 31 Academic and Service Clubs, and 3+ Theatrical productions each year. We also offer a variety of STEAM activities, including Robotics (multiple teams) and Computer Programming.

PARENT & COMMUNITY ENGAGEMENT

At Liberty High School, we value the diversity of our students and families and plan for community outreach accordingly. We partner with our community, families, and students through a variety of evening events: bilingual parent nights, AVID family nights, Back-to-School night, Academic Planning night, College and Career Center nights, and parent conferences. Additionally, we have targeted outreach achieved through home visits, weekly newsletters, Principal Visits, Remind notifications, and our Family Liaison.

91,611 $52,000 32 50.2% 49.8%

 Hillsboro

 Beaverton

 Newberg

HOUSING

 54.6% of homes owner occupied

 45.40% of homes rented

POPULATION DENSITY

 3,800 inhabitants per sq. mile

 35,487 housing units at an average density of 1,500 per sq. mile

HISTORY

AGE DEMOGRAPHIC

 27% under age 18

 9% between ages 18 to 24

 35% between ages 25 to 44

 21% between ages 45 to 64

 8% above age 65

CITY QUICK FACTS

 5th largest city in Oregon

 24.25 square miles

 194 feet elevation

METRO AREA BASE MAP

LOCAL BUSINESSES

LOCAL BUSINESSES

LOCAL BUSINESSES

LOCAL BUSINESSES

LOCAL BUSINESSES

Care

LOCAL BUSINESSES

Medical GroupCornell Cornell Medical Plaza, 1960 NW 167th Pl, Beaverton, OR 97006, USA (503)

Veterinary Care

LOCAL BUSINESSES

LOCAL BUSINESSES

Hillsboro Brookwood Library 2850 NE Brookwood Pkwy, Hillsboro, OR 97124, USA (503) 615-6500

Tiny Branch Library. Evergreen Pk, 2615 NW 194th Terrace, Hillsboro, OR 97124, USA

LOCAL BUSINESSES

LOCAL BUSINESSES

LOCAL BUSINESSES

LOCAL BUSINESSES

LOCAL BUSINESSES

Emergency Police/Medical/Fire

911

Poison Control (800) 222-1222 www.aapcc.org

United States Postal Service (800) 275-8777 www.usps.com

Xfinity (800) 266-2278 www.xfinity.com

Ziply Fiber (866) 699-4759 www.ziplyfiber.com

Verizon (800) 483-4100 www.verizon.com

AT&T (800) 288-2020 www.att.com

CenturyLink (866) 963-6665 www.centurylink.com

Dish Network (800) 318-0572 www.dish.com

DIRECT TV (800) 531-5000 www.directtv.com

The Oregonian (503) 221-8240 www.oregonlive.com

TRI-MET (503) 238-7433 www.trimet.org

Northwest Natural Gas (800) 422-4012 www.nwnatural.com

Portland General Electric (503) 228-6322 www.portlandgeneral.com

City of Hillsboro Water Provider (503) 615-6702 www.hillsboro-oregon.gov

City of Hillsboro Sanitary Sewer (503) 681-6509 www.hillsboro-oregon.gov

Hillsboro Garbage Disposal (503) 648-4219 www.hillsborogarbage.com

Hillsboro School District (503) 844-1500 www.hsd.k12.or.us

CHANGE OF ADDRESS

USPS

Below is the website if you would like to change your address online or you can visit your local post office, they will provide you with the change of address packet. https://moversguide.usps.com

Benefits you will receive when you change your address online are:

Exclusive mover savings coupons

Safe and secure with identity verification by a simple $1.00 charge to your credit or debit card

Email confirmation at the end of registration of your change of address

* Must have valid email address and credit card to register online.

AUTO REGISTRATION AND DRIVER LICENSING

Below is the website if you would like to change your address online or you can visit your local DMV office.

Oregon Department of Transportation DMV Services 1905 Lana Avenue NE Salem, OR 97314-0100

www.oregondmv.com/oregon/index.htm

General DMV Information Contact: 503-299-9999

VOTERS REGISTRTION

TO REGISTER TO VOTE, YOU MUST BE:

A citizen of the USA

A resident of Oregon

A Legal Resident of Oregon State at least 18 years of age on or before the next election.

HOW TO REGISTER

To register to vote online you will need an Oregon driver's license, permit or ID card number issued by the Oregon Driver and Motor Vehicle Services Division (DMV).

If you do not have an Oregon driver's license, permit or ID card, you can still use the online voter registration application. The information you enter will display on a voter registration card (PDF document) that you will need to print, sign and deliver to your county elections office to complete your registration.

REGISTRATION DEADLINE

A new registrant must submit their online registration by 11:59:59 p.m. Pacific Time on the 21st calendar day before an election to be eligible to vote in that election.

CHANGE OF ADDRESS

If you move to a new county, you must complete a new voter registration, otherwise you must request a transfer of your registration.

Clackamas County Voter Registration: 503-655-8510

Multnomah County Voter Registration: 503-988-3720

Washington County Voter Registration: 503-846-5800

MOVING CHECKLIST

UTILITIES

Electric

NWNaturalGas

WaterDistrict

SewerDistrict

GarbageProvider

Cable/Satellite Fuel(Propane)

PhoneServices

Internet

FINANCIAL

BanksandCreditUnions

CreditCardCompanies (includingdepartmentstorecreditcards)

Lenders

(Mortgage,HomeEquity,Auto,StudentLoans)

InsuranceCompanies

(Health,Renters,Auto,Home,Medical,Dental,Disability,Life)

Retirement

(Pensionplans,401K,SocialSecurity,VeteransAffairs)

Investments(InvestmentAgenciesandBrokers)

OnlineBillPayer

Paypal

GOVERNMENT

USPostOffice

DepartmentofMotorVehicles

(Obtainyourdriver’slicenseandchangevehicleregistration)

IRS

PassportOffice

VeteranAffairs

UnemploymentOffice

(Ifyouarecurrentlyreceivingunemploymentbenefits)

HEALTH

Physician

Pharmacies

SERVICE PROVIDER

Childcare

Housecleaning Services

Delivery Services

Lawn Care Services

Veterinarian

Pool Service

MEMBERSHIPS

Health Clubs

Membership Clubs(AAA or similar)

Community Groups (PTA, Neighborhood Associations, Civic Clubs)

Children’s Extracurricular

Activities (Dance Classes, Music Lesson, Sports Clubs)

SUBSCRIPTIONS

Newspapers

Magazine(USPS will only forward 2 months)

Movie Subscriptions

Book or Music Clubs

OTHER

Friends and Family

Employers (typically notify the HR Department)

MOVING CHECKLIST

8

8 WEEK BEFORE YOU MOVE

InventorySheets:Createaninventorysheetofallyour belongingswhichneedtobemoved ResearchMovingOptions:You’llneedtodecideifyoursisa do-it-yourselfmoveorifyou’llbeusingamovingcompany. RequestMovingQuote:Solicitmovingquotesfromasmany movingcompaniesandmoversaspossible.Therecanbea largedifferencebetweenratesandserviceswithinmoving companies.

DiscardUnnecessaryItems:Movingisagreattimefor riddingyourselfofunnecessaryitems.Haveayardsaleor donateunnecessaryitemstocharity.

PackingMaterial:Gathermovingboxesandpacking materialforyourmove.

ContactInsuranceCompanies:You’llneedtocontactyour insuranceagenttocancel/transferyourinsurancepolicy.

1 WEEK BEFORE YOU MOVE

YourChangeofAddress:Changeyouraddresswiththe USPS,DMV,FinancialInstitutions,Utilities,Government Offices,HealthCareServiceProviders,Memberships, SubscriptionsandInsuranceProvisions.

BankAccounts:Transferorclosebankaccountsifchanging banks.Makesuretohaveamoneyorderforpayingthe movingcompany.

ServiceAutomobiles:Ifautomobilesaretobedrivenlong distance,you’llwanttohavethemservicedsoyouhavea trouble-freedrive.

CancelServices:Notifyanyremainingserviceproviders (newspapers,lawnservices,etc.)ofyourmove.

TravelItems:Setasideallitemsyou’llneedwhiletraveling. Makesurethesearenotpackedonthemovingtruck.. ContactUtilityCompanies:Setutilityturnoffdate,seek refundsanddepositsandnotifythemofyournewaddress.

4 WEEK BEFORE YOU MOVE

StartPacking:Beginpackingallthingsdestinedforyournew location.

ObtainYourMedicalRecords:Contactyourdoctor,physician, dentistandothermedicalspecialistswhomaycurrentlybe retaininganyofyourfamily’smedicalrecords.Obtainthese recordsormakeplansforthemtobedeliveredtoyournew medicalfacilitiesifchanging.Securityiscriticalofpersonal records.

NoteFoodInventoryLevels:Checkyourcupboards, refrigeratorandfreezer.Useupasmuchofyourperishable foodaspossible.

SmallEngines:Servicesmallenginesforyourmoveby extractinggasandoilfromthemachines.Thiswillreduce thatchancetocatchfireduringyourmove.

ProtectJewelryandValuables:Transferyourjewelryand valuablestoasafetydepositbox;youdon’twantthemtobe lostorstolenduringyourmove.

BorrowedandRentedItems:Returnitemsthatyoumay haveborrowedorrented.Collectitemsborrowedtoothers.

MOVING DAY

PlanYourItinerary:Makeplanstospendtheentiredayat thehouseoratleastuntilthemoversareontheirway. Someonewillneedtobearoundtomakedecisions.Make plansforkidsandpetstobeatasittersfortheday.

ReviewtheHouse:Oncethehouseisempty,checkthe entirehouse(closets,attic,basement,etc.)toensureno itemsareleftornohomeissuesexist.

DoubleCheckWithYourMover:Ensurethemoverhasthe newpropertyaddressandallofyourmostrecentcontact information,shouldtheyhaveanyquestionsduringyour move.

VacateYourHome:Makesureutilitiesareoff,doorsand windowsarelockedandnotifyyourrealestateagentyou’ve vacatedtheproperty.

QuestionsToAsk:Whereisthegaragedooropener?Where arethekeystothehouse,mailboxandotherlockablearea? Didyouretrieveallkeysfromneighborsandfriends?

THE HOME DEPOT (800) 466-3337 www.homedepot.com

Beaverton (503) 469-4242 4401 SW 110th Ave. Beaverton, OR 97005

S. Beaverton (503) 646-1525

13700 NW Science Pk. Dr. Portland 97229

Clackamas (503) 774-6372

9300 SE 82nd Ave. Happy Valley, OR 97086

Hillsboro (503) 693-9090

1950 SE Minter Bridge Rd. Hillsboro 97123

Jantzen Beach (503) 289-9200

1728 N Tomahawk Island Dr. Portland 97217

Oregon City (503) 723-3181

2002 Washington St. Oregon City, OR 97045

E. Portland (503) 261-8543

10120 SE Washington St. Portland 97216

NE Portland (503) 252-0188

11633 NE Glen Widing Dr. Portland 97220

Sherwood (503) 925-8447

20260 SW Pacific Hwy. Sherwood, OR 97140

Tigard (503) 639-3500

14800 SW Sequoia Parkway Tigard 97224

MOVING RESOURCES

THE HOME DEPOT CONTINUED

Troutdale (503) 674-3944

25101 SE Stark St. Troutdale, OR 97060

LOWES (800) 466-3337 www.lowes.com

Hillsboro (503) 844-6200

1951 SE 24th Ave. Hillsboro, OR 97123

Milwaukie (503) 794-2500

13631 SE Johnson Rd. Milwaukie 97222

Portland (503) 737-3000

1160 N Hayden Meadows Dr. Portland 97217

Tigard (503) 624-2644 12615 SW 72nd Ave. Tigard, OR 97223

Wood Village (503) 667-1005

1000 NE Wood Village Blvd. Wood Village, OR 97060

DONATION FACILITIES

Goodwill (800) 741-0186 locator.goodwill.org

The Salvation Army (800) 958-7825 www.salvationarmyusa.org

Value Village (800) 958-7825 www.valuevillage.com

MOVING TRUCK RENTALS

Budget (800) 462-8343 www.budgettruck.com

Penske (888) 996-5415 www.pensketruckrental.com

Ryder (800) 297-9337 www.ryder.com

U-Haul (800) 468-4285 www.uhaul.com

STORAGE COMPANIES

NW Self Storage www.nwselfstorage

Public Storage (800) 906-0879 www.publicstorage.com

Pods (888) 309-8967 www.pods.com

TRANSFER STATIONS Garbage/Recycling

Metro Center (503) 234-3000

www.oregonmetro.gov 6161 NW 61st Ave. Portland, OR 97210

Metro South (503) 234-3000 www.oregonmetro.gov

2001 Washington St. Oregon City, OR 97045

RESOURCE GUIDE

AIRPORT

Portland International Airport (877) 793-4690 www.flypdx.com

AUTO & DRIVER REGISTRATION

DMV (503) 945-5000 www.odot.state.or.us/dmv/

BUS SERVICE

C-Tran (360) 695-0123 www.c-tran.com

Greyhound (800) 231-2222 www.greyhound.com

Tri-Met (503) 238-7433 www.tri-met.org

CABLE TV & INTERNET

Verizon (888) 881-8161 www.verizon.com

XFINITY (Comcast) (800) 934-6489 www.comcast.com

CITY CONTACT

Banks (503) 324-5112 www.cityofbanks.org

Beaverton (503) 526-2222 www.ci.beaverton.or.us

Canby (503) 266-4021 www.ci.canby.or.us

CITY CONTACT CONTINUED

Cornelius (503) 357-9112 www.ci.cornelius.or.us

Damascus (503) 658-8545

www.ci.damascus.or.us

Estacada (503) 630-8270 www.cityofestacada.org

Fairview (503) 665-7929 www.ci.fairview.or.us

Forest Grove (503) 359-3200

www.ci.forest-grove.or.us

Gaston (503) 985-3340

Gladstone (503) 656-5225 www.ci.gladstone.or.us

Gresham (503) 661-3000 www.ci.gresham.or.us

Happy Valley (503) 760-3325 www.ci.happy-valley.or.us

Hillsboro (503) 681-6100 www.hillsboro-oregon.gov

King City (503) 639-4082 www.ci.king-city.or.us

Lake Oswego (503) 635-0270 www.ci.oswego.or.us

Milwaukie (503) 786-7525 www.ci.cityofmilwaukie.org

CITY CONTACT CONTINUED Molalla (503) 829-6855 www.cityofmolalla.com

North Plains (503) 647-5555 www.northplains.org

Oregon City (503) 657-0891 www.ci.orcity.or.us

Portland (503) 823-4000 www.portlandonline.com

River Grove (503) 639-6919

Sandy (503) 668-5533 www.ci.sandy.or.us

Sherwood (503) 625-5522 www.ci.sherwood.or.us

Tigard (503) 639-4171 www.ci.tigard.or.us

Troutdale (503) 665-5175 www.ci.troutdale.or.us

Tualatin (503) 692-2000 www.tualatinoregon.gov

West Linn (503) 657-0331 www.westlinnoregon.gov

Wilsonville (503) 682-1011 www.ci.wilsonville.or.us

Wood Village (503) 667-6211 www.ci.wood-village-or.us

COUNTY CONTACTS

Clackamas (503) 655-8011 www.co.clackamas.or.us Taxation (503) 655-8671

Multnomah (503) 248-3511 www.co.clackamas.or.us Taxation (503) 988-3326

Washington (503) 846-8611 www.co.clackamas.or.us Taxation (503) 846-8741

ELECTRICITY

Pacific Power (888) 221 7070 www.pacificpower.net

Portland General (800) 542-8818 www.portlandgeneral.com

HOSPITALS

Adventist Medical (503) 257-2500 www.adventisthealthnw.com

Doernbecher Children’s Hospital (503) 494-8311 www.ohsu.edu

Legacy Good Samaritan (503) 413-4683 www.legacyhealth.org

Legacy Emanuel (503) 413-2200 www.legacyhealth.org

RESOURCE GUIDE

HOSPITALS CONTINUED

Legacy Meridian Park (503) 692-1212 www.legacyhealth.org

Legacy Mt. Hood (503) 674-1122 www.legacyhealth.org

Kaiser Permanente Sunnyside (503) 813-2000 www.kaiserpermanente.org

Kaiser Permanente Westside (503) 813-2000 www.kaiserpermanente.org

OHSU (503) 494-8311 www.ohsu.edu

Providence Milwaukie (503) 513-8300 www.providence.org

Providence Portland (503) 215-1111 www.providence.org

Providence St. Vincent (503) 216-1234 www.providence.org

Providence Willamette Falls (503) 656-1631 www.providence.org

Shriner’s Hospital (503) 241-5090 www.shrinershq.org

Tuality Community (503) 681-1111 www.tuality.org

Tuality Forest Grove (503) 357-2173 www.tuality.org

NATURAL GAS

NW Natural (800) 422-4012 www.nwnatural.com

NEWSPAPERS

The Columbian (360) 694-3391 www.columbian.com

The Oregonian (503) 221-8240 www.oregonlive.com

Willamette Weekly (503) 243-2122 www.wweek.com

RECREATION

Convention Center (503) 235-7575 www.oregoncc.org

Expo Center (503) 736-5200 www.expocenter.org

Mt. Hood Meadows (503) 337-2222 www.mthoodmeadows.com

OMSI (503) 797-4000 www.omsi.edu

Oregon Zoo (503) 266-1561 www.oregonzoo.com

Portland International Raceway (503) 823-7223 www.portlandraceway.com

Portland Art Museum (503) 266-2811 www.pam.org

RESOURCE GUIDE

RECREATION CONTINUED

Providence Park (503) 553-5400 www.providenceparkpdx.com

Regal Cinemas (800) FANDANGO www.regalcinemas.com

Moda Center (503) 797-9619 www.rosequarter.com

Willamette Jetboat (503) 231-1532 www.willamettejet.com

SHOPPING

Bridgeport Village (503) 968-1704 www.bridgeport-village.com

Cedar Hills Crossing (503) 643-6563 www.cedarhillscrossing.com

Clackamas Town Center (503) 653-6913 www.clackamastowncenter.com

Columbia Gorge Outlets (503) 669-8060 www.premiumoutlets.com/ columbiagorge

Lloyd Center (503) 282-2511 www.lloydcenter.com

Mall 205 (503) 255-5805

Pioneer Place (503) 228-5800 www.pioneerplace.com

SHOPPING CONTINUED

Streets of Tanasbourne (503) 533-0561 www.streetsoftanasbourne.com

Washington Square (503) 369-8860 www.shopwashingtonsquare.com

Woodburn Outlets (888) 664-SHOP www.woodburncompanystores.com

TELEPHONE SERVICE

Verizon (800) 483-4100 www.verizon.com

AT&T (800) 288-2020 www.att.com

TRANSFER STATIONS

Metro Center (503) 234-3000

www.oregonmetro.gov 6161 NW 61st Ave. Portland, OR

Metro South (503) 234-3000 www.oregonmetro.gov 2001 Washington St. Oregon City, OR

Clackamas County (503) 668-8885 www.wmnorthwest.com 19600 SE Canyon Valley Rd. Sandy, OR

VOTER REGISTRATION

Clackamas (503) 655-8510

Multnomah (503) 248-3720

Washington (503) 846-5800

WATER BUREAU

Beaverton (503) 526-2257

Clackamas (503) 722-9220

Gladstone (503) 656-5223

Gresham (503) 618-2373

Hillsboro (503) 681-6228

Lake Oswego (503) 635-0265

Milwaukie (503) 786-7525

Oregon City (503) 657-8151

Portland (503) 823-7770

Tigard (503) 639-1554

Tualatin (503) 692-2000

West Linn (503) 656-4261

Wilsonville (503) 682-1011

CYBER SECURITY

the information without the knowledge of the sender or recipient, resulting in the funds being sent to an outside account and never credited to the intended party.

To protect and reduce your risk, WFG has implemented the following procedures for outgoing and incoming wires:

Outgoing Wire from WFG to seller or borrower for proceeds

In the escrow paperwork provided you will be asked to provide written instructions on how you want funds due you sent to you at the close of escrow. If you choose to have the funds sent via wire transfer, WFG will contact you by phone to confirm the wire information provided.

Incoming Wires from the buyer and/or lender to WFG bank account

For funds that are to be wired to WFG for your transaction, we will send specific wire instructions to the remitting person via an encrypted email. We recommend you reach out to your WFG contact to confirm the wire instructions prior to remittance.

We look forward to processing your escrow transaction for you. We know that this can be a stressful time and we are here to assist you in any way we can to make this a good experience.

http://national.wfgnationaltitle.com/2016/04/05/obsess-cyber-security/

OWNERS TITLE INSURANCE Why it's important

claims, or restrictions on the buyer’s property, other than the mortgage the buyer agrees to pay.

If the preliminary title search uncovers potential problems, a buyer can require that those problems be satisfactorily dealt with before closing on the home.

In addition, owner’s title insurance protects buyers against a myriad of risks that not even the most careful title search can uncover, including things such forged documents, undisclosed or missing heirs of a previous owner, fraud, will disputes, and unrecorded claims of many types.

Without owner’s title insurance, the legal costs to resolve such title claims could easily be in the tens of thousands of dollars and would have to be paid out of pocket by the buyer - not to mention the stress that such situations would cause to the buyer.

Owner’s title insurance is one of the most affordable insurance policies a person can ever buy. Unlike other forms of insurance, there is only a one-time fee at closing for the policy, which financially protects the buyer’s investment for as long as the buyer or the buyer’s heirs own the home.

So, if someone tells the buyer that owner’s title insurance is “optional”, that certainly does not mean that the buyer should not get it. Virtually every lender requires lender’s title insurance, but that insurance does not protect the buyer.

In order to safeguard the buyer’s investment in the property, which is possibly the most important investment the buyer will ever make, owner’s title insurance is absolutely critical.

WHAT IS ESCROW?

Both the buyer and seller rely on the escrow agent to carry out their written instructions relating to the transaction and to advise them if any of their instructions are not mutually consistent or cannot be carried out. If the instructions from all parties to an escrow are clearly drafted, the escrow officer can proceed on behalf of the buyer and seller without further consultation. This saves much time and facilitates the closing of the transaction.

TYPICAL ROLES IN THE CLOSING PROCESS

The Seller/Agent

Delivers a fully executed Purchase Sale Agreement to the escrow agent. Executes the paperwork necessary to close the transaction.

The Buyer/Agent

Deposits collected funds required to close (in with the escrow agent.

Approves the commitment for title insurance, or other items as called for by the Purchase Sale Agreement.

Executes the paperwork and loan documents necessary to close the transaction.

The Lender

Deposits loan documents to be executed by the buyer

Deposits the loan proceeds. Directs the escrow agent of the conditions under which the loan funds may be used

The Escrow Agent

Clears Title

Obtains title insurance

Obtains payoffs and release documents for underlying loans on the property Receives funds from the buyer and/or lender. Prepares vesting document affidavit on seller’s behalf.

Prorates insurance, taxes, rents, etc.

Prepares a final statement (often referred to as the “HUD Statement” or ”Settlement Statement”) for each party, indicating amounts paid in conjunction with the closing of your transaction. Forwards deed to the county for recording. Once the proper documents have been recorded, the escrow agent will distribute funds to the proper parties.

In Summary

Escrow is the process that assembles and processes many of the components of a real estate transaction. The sale is officially closed when the new deed is recorded and funds are available to the seller, thus transferring ownership from the seller to the buyer. The escrow agent is a neutral third party acting on behalf of the buyer and seller.

WHAT IS TITLE?

About Title Insurance

Title is a bundle of rights in real property. Protecting purchasers and lenders against loss is accomplished by the issuance of a title insurance policy. Usually, during a purchase transaction, the lender requests a policy (commonly referred to as the Lender’s Policy) while the buyers receive their own policy (commonly referred to as an Owner's Policy).

In short, the policy states that if the status of the title to a parcel of real property is other than as represented, and if the insured (either the owner or lender) suffers a loss as a result of a title defect, the insurer will reimburse the insured for that loss and any related legal expenses, up to the face amount of the policy, subject to exceptions and exclusions contained in the policy.

Typically there are two policies issued. The Mortgagee’s Policy insures the lender for the amount of the loan. The Owner’s Policy insures the purchaser of the purchase price.

How is title insurance different from other types of insurance?

While the function of most other forms of insurance is risk assumption through the pooling of risks for losses arising out of unforeseen future events (such as sickness or accidents), the primary purpose of title insurance is to eliminate risks and prevent losses caused by defects in title arising out of events that have happened in the past. To achieve this goal, title insurers perform an extensive search and examination of the public records to determine whether there are any adverse claims (title defects) attached to the subject property. Said defects/claims are either eliminated prior to the issuance of a title policy

or their existence is excepted from coverage. Your policy is issued after the closing of your new home, for a one-time nominal fee, and is good for as long as you own the property.

What’s involved in a title search? A title search is actually made up of three separate searches:

Chain of Title – History of the ownership of the subject property

Tax Search – The tax search reveals the status of the taxes and assessments

Judgment and Name Search – Searches for judgment and liens against the owners’ and purchasers’ names

Once the three searches have been completed, the file is reviewed by an examiner who determines:

Whether or not the Chain of Title shows that the party selling the property has the right to do so. The status of taxes for the subject property. The Tax Search will also indicate the existence of any special assessments against the land and whether or not these assessments are current or past due.

Whether there are any unsatisfied judgments on the Judgment and Name Search against the previous owners, sellers, or and purchasers.

Rights established by judgment decrees, unpaid federal income taxes and mechanic liens all may be prior claims on the property, ahead of the buyer’s or lender’s rights. The title search will only uncover defects in title that are of public record, thus allowing the title company to work with the seller to clear up these issues and provide the new buyer with title insurance.

In Summary

After the searches have been examined, the title company will issue a commitment, stating the conditions under which it will insure title. The buyer, seller and the mortgage lender will proceed with the closing of the transaction after clearing up any defects in the title that have been uncovered by the search and examination.

.

WHO PAYS WHAT IN OREGON

SELLER PAYS

TYPICAL COSTS

The following costs generally affect all transactions:

Escrow Fee - one-half of the fee, based on title company’s fee schedule

Recording Fees - based on county fee schedule

Title Premium - based on fixed statewide fee schedule

Real Estate Commission - based on agreement with Broker

Tax Prorate - to apportion taxes between parties as of date of closing

General Costs - as listed for each specific transaction, as requested by principals

Release fees for loan payoff(s)

LAND SALE CONTRACT TRANSACTION

Attorney Fee - optional, and is sometimes shared with purchaser

Collection Escrow Setup Fee - optional, and is often shared with purchaser

ASSIGNMENT OF CONTRACT FOR ASSUMPTION OF LOAN TRANSACTION

Any delinquent payments to bring contract or loan current

Prorate share of current month’s interest based on current rate

CONVENTIONAL, FHA, VA LOAN TRANSACTIONS

Any closing cost (not expenses of property or loan interest) negotiated on behalf of the purchaser, subject to lender’s approval

FHA, VA Loans - check with lender for any applicable seller costs

BUYER PAYS

TYPICAL COSTS

The following costs generally affect all transactions:

Escrow Fee - one-half of the fee, based on title company’s fee schedule

Recording Fees - based on county fee schedule

Fire Insurance Premium - mandatory when any lender is involved, including the seller’s lender

Tax Prorate - to apportion taxes between parties as of date of closing

General Costs - as listed for each specific transaction, as requested by the principals

LAND SALE CONTRACT TRANSACTION

Attorney Fee - optional, and is sometimes shared with seller

Collection Escrow Setup Fee - optional, and is sometimes shared with seller

Recording Fee - for contract or memorandum thereof

ASSIGNMENT OF CONTRACT FOR ASSUMPTION OF LOAN TRANSACTION

Assumption or Assignment

Next monthly payment due, if required by lender

Recording Fee - for Assumption/Assignment of Agreement, if required by lender

CONVENTIONAL, FHA, VA LOAN TRANSACTIONS DISCLAIMER:Thisflyerisnotintendedtobeanall-inclusivelistoffeesand

Lenders title insurance policy & endorsements, as required by lender

Loan Fee - as required by lender

Credit Report Fee - as required by lender

Appraisal Fee - as required by lender

Mortgage Insurance Premium - based on fee schedule and endorsements of lender

Prepaid Interest - if required by lender

VA Loans only - funding fee, if required by lender

FHA, VA, and some Conventional Loans - reserves for real property taxes, fire insurance and mortgage insurance

TITLE VESTING Common ways to hold title to real property

ASANINDIVIDUAL

Anindividualmayholdtitleinhisorhernameonly,regardlessofwhetherornotmarried–e.g.“JaneSmith,an individual”.Thatindividualthenownsallrightstotheproperty,whichcanbesoldortransferredtoothersviawill ortrust.Whileadivorceispending,however,ifthepropertywasacquiredduringthemarriageitwilllikelybe treatedaspartofthemaritalestateandthusbesubjecttocourtauthority.

ASTENANTSBYTHEENTIRETY

Aconveyancetoahusbandandwifecreatesatenancybytheentirety–e.g.“JohnSmithandJaneSmith, husbandandwife,astenantsbytheentirety”.Thiscreatesasurvivorshipestate,whichmeansthatifonespouse dies,his/herinterestwillautomaticallygotothesurvivingspouse.Ahusbandandwifemayalsotaketitleas tenantsincommon(discussedbelow)iftheintentiontoholdtitleinthatmannerisexpresslystated.

ASTENANTSINCOMMON

Unlessaconveyanceexpresslyprovidesthatthepartiesintendtocreateasurvivorshipestate(discussedbelow), aconveyancetotwoormorepersonswhoarenotmarriedcreatesatenancyincommoninwhicheachhas (unlessotherwisestated)anequalundividedinterestintheproperty–e.g.“JohnSmithandRobertJones,as tenantsincommon,eachastoanundivided50%interest”.Eachtenantincommonthenownsanundivided interestintheentireproperty,whichcanbesoldortransferredtoothersviawillortrust.

ASASURVIVORSHIPESTATE

Twoormorepersonswhoarenotmarriedmayalsoholdtitleastenantsincommonwitharightofsurvivorship, aslongasthesurvivorshipdeclarationisexpresslycontainedinthedeed–e.g.“JohnSmithandRobertJones, notastenantsincommon,butwiththerightofsurvivorship”.Thiscreatesasurvivorshipestate,whichmeans thatifonepartydies,his/herinterestwillautomaticallygotothesurvivorandcannotbesoldduringthelifetime ofortransferredviawillortrustbythepartywhodiesfirst

ASREGISTEREDDOMESTICPARTNERS

Registereddomesticpartnersmaytaketitleas(i)tenantsincommon–e.g.“JaneSmithandMaryJones, registereddomesticpartners,astenantsincommon,eachastoanundivided50%interest”,or(ii)ina survivorshipestatesimilartothatofatenancybytheentirety–e.g.“JaneSmithandMaryJones,asregistered domesticpartnerswithrightofsurvivorship”.

ASASAMESEXMARRIEDCOUPLE

Samesexmarriedcouplesmaytaketitleas(i)tenantsincommon–e.g.“JohnSmithandRobertSmith,a marriedcouple,astenantsincommon,eachastoanundivided50%interest”,or(ii)inasurvivorshipestate similartothatofatenancybytheentirety–e.g.JohnSmithandRobertSmith,amarriedcouplewithrightof survivorship,or(iii)astenantsbytheentirety–e.g.“JohnSmithandRobertSmith,amarriedcouple,astenants bytheentirety”.

ASANENTITY

Aregisteredentity,suchasacorporation,limitedliabilitycompanyorpartnership,mayholdtitle.Titleshouldbe heldexactlyasthenameisregisteredwiththeOregonSecretaryofState–e.g.“Smith&Jones,LLC,anOregon limitedliabilitycompany”. DISCLAIMER–Theforegoingcontainsinformationalexamplesonlyand

ADMINISTRATIVE

12909 SW 68th Pkwy. Ste. 350 Portland, OR 97223 503-431-8500

CLACKAMAS

9200 SE Sunnybrook Blvd. Ste. 350 Clackamas, OR 97015 503-353-9975

LAKE OSWEGO

5885 Meadows Rd. Ste. 130 Lake Oswego, OR 97035 503-624-4900

LLOYD/COMMERCIAL

NW PORTLAND 25 NW 23rd Pl. Ste. 1 Portland, OR 97210 503-219-9088

BETHANY 1500 NW Bethany Blvd. Ste. 245 Beaverton, OR 97006 503-850-3990

RIVERFRONT 2001 SE Columbia River Dr Ste. 100 Vancouver, WA 98661 360-314-0300

SALMON CREEK

2105 NE 129th St. Ste. 107 Vancouver, WA 98686 360-314-1818

VANCOUVER MALL

4400 NE 77th Ave Ste. 250 Vancouver, WA 98662 360-891-5454

EAST VANCOUVER

2004 SE 192nd Ave. Ste. 100 Vancouver, WA 98683 360-356-9990 1 2 3 5 6 7 8 9 4 10

700 NE Multnomah St. Ste. 190 Portland, OR 97232 503-230-8488

This week the median list price for Hillsboro, OR 97124 is $593,500 with the market action index hovering around 47. This is about the same as last month's market action index of 47. Inventory has held steady at or around 40.

Market Action Index

This answers “How’s the Market?” by comparing rate of sales versus inventory.

Real-Time Market Profile

Price of New Listings

Strong Seller's Market

Market Narrative

The market has been consistently cool for several weeks. Demand level are low relative to the available inventory. It's a Buyer's market and prices continue to fall. Look for a persistent shift in Market Action before prices plateau or begin to rise again.

Market Segments

Strong Seller's Market

Each segment below represents approximately 25% of the market ordered by price.

Median List Price

Again this week in this zip code we see a downward notch for prices. We continue to pull back from the market’s highs. At this point, we will be looking for a persistent upward shift in the Market Action Index as a leading indicator for a trough in prices. 7-Day Median

Price Per Square Foot

We’re seeing fairly unusual market conditions as prices have been in a downward trend but price per square foot is actually increasing. (Buyers are paying less and getting less home for their money.) Anomalies like these can be attributed to micro-location variables. 7-Day Median

Inventory has been relatively steady around these levels in recent weeks.

Market Action Index

The market has been consistently cool for several weeks. Demand level are low relative to the available inventory. It's a Buyer's market and prices continue to fall. Look for a persistent shift in Market Action before prices plateau or begin to rise again.

Median Days on Market (DOM)

The properties have been on the market for an average of 107 days. Half of the listings have come newly on the market in the past 56 or so days. Watch the 90-day DOM trend for signals of a changing market.

It is not uncommon for the higher priced homes in an area to take longer to sell than those in the lower quartiles.

Instant access to

WFG’s MyHome® provides full transparency, real-time updates, and post-closing home information in a secure built with YOU in mind.

Contact information for

Sign up for an account at https://myhome.wfgtitle.com today!

Click Register for MyHome® account on a MyHome® email to https://myhome. wfgtitle.com

Complete a brief registration form. Use your email address on immediate access.

via text, email, or

for your transaction

your escrow team

CONSUMER EXPERIENCE TIMELINE

TRANSACTION CLOSED

GATHER UP

SIGNING SCHEDULED

CLOSE TO SIGNING

TITLE CLEARED

UPDATER INVITATION

TITLE REPORT DELIVERED

TRANSACTION STARTED

MIDPOINT FEEDBACK

EARNEST MONEY

Turn static files into dynamic content formats.

Create a flipbook