Home & Community Book - 1612 S Lloyd Lane, Spokane, WA 99212

Page 1

ToExploreour Home&CommunityBook
SCAN HERE
HOME & COMMUNITY
S LLOYD LN
1612
SPOKANE, WA 99212
Property Details Maps Local Schools Community Utilities & Resources Title & Escrow 1. 2. 3. 4. 5. 6. The information
provided
our customers,
reliable,
CONTENTS
contained is
by WFG’s Customer Service Department to
and while deemed
is not guaranteed.
PROPERTY

PROPERTY ADDRESS

1612SLLOYDLN SPOKANE,WA99212

OWNER INFORMATTION

OWNERNAME: VillageHomes,LLC

VESTING: Company

MAILINGADDRESS: 5233EGiftedViewDrCoeurDAleneID83814

OWNER STATUS: Non-owneroccupied

LOCATTION DESCRIPTTION

COUNTY: Spokane CENSUS / BLOCK: 013401/2004

TSP - RNG - SEC: 25N-43E-26

LOT / BLOCK: 1/1

HOUSING TRACT: ValleyView

PARCEL #: SCHOOL DISTRICT: Spokane MUNICIPALITY: Spokane PARCEL #: 35262.1001

PROPERTY DETAILS
LENDER:LOAN: $282,413 LOAN:LOAN
LOAN
ALT
LAST MARKET SALE PRIOR SALE DATE: 03/22/2021 DATE: 06/03/2015 SALE PRICE: $68,000 SALE PRICE: $55,000 DOCUMENT #: 7050624 DOCUMENT #: 6404394 DOC TYPE: Deed DOC TYPE: Deed SQUARE FOOT $:LENDER:
TYPE:
TYPE: LOAN TERM:

PROPERTY DETAILS

PROPERTY CHARACTERISTTICS

GROSS AREA: LIVING AREA: ABOVE GRADE: BEDROOMS: 4 BATHROOMS: 4 FIREPLACE: 1 YEAR BUILT: 2022 PARKING TYPE: Attached UNITS: 1 BASEMENT: GARAGE AREA: 720 ROOF SHAPE: Gable FOUNDATION: Concrete ROOF MATERIAL: CONSTRUCTIONS: HEAT TYPE: COOLING TYPE: EXTERIOR WALL: WoodFrame ROOMS: QUALITY: INTERIOR WALL: PORCH TYPE: PATIO TYPE: AIR COND: N FIXTURES: FLOOR: EQUIPMENT: STORIES: 1 POOL: CONDITION: VeryGood

PROPERTY INFORMATTION

LAND USE: SingleUnit ZONING: LowDensityResidential COUNTY USE: LOT ACRES: 0.17 STATE USE: LOT SQ FT: 7,404 LEN / WID:

TAXES AND ASSESSMENT INFORMATTION

ASSD YEAR: 2023 ASSD VALUE: $702,000 TAXABLE VAL: TAX YEAR: 2022 LAND VALUE: MKT VALUE: TAX AREA: 0480 IMP VALUE: EXEMPTIONS: PROPERTY TAX: $817.88 IMPROVED %: DISTRICT:

4
PROPERTY ADDRESS 1612SLLOYDLN SPOKANE,WA99212
BED 4 BATH 0 SQ FT 0.17 ACRES
AREA HISTORY PROPERTY ADDRESS
AVERAGES
AVERAGE SALE PRICE AVERAGE PRICE PER SQ FT 2018 2019 2020 2021 2022 $209,129 $229,141 4 $263,396 $314,171 $358,296 2018 2019 2020 2021 2022 $128 $134 $157 $198
1612SLLOYDLN SPOKANE,WA99212
BEDROOMSBATHROOMSSQUAREFOOTPRICESQFTPRICE 2018321,909$209,129$128 2019321,953$229,141$134 2020321,922$263,396$157 2021321,938$314,171$198 2022321,929$358,296$232
$232

DEMOGRAPHICS

PROPERTY ADDRESS

1612SLLOYDLN SPOKANE,WA99212

FEMALE POPULATTION | 34 ,870 HOUSING INFO

70+ 60-69 50-59 40-49 30-39 20-29 10-29 0-9

0%10%20%30%

MALE POPULATTION | 33,114

70+ 60-69 50-59 40-49 30-39 20-29 10-29 0-9

0%10%20%30%

Urban Rural

30,798 2,103

66,821 1,163 Total Units Vacant Occupied

28,695

HOUSEHOLD INFO

Male Head of Household 8.87%

FemaleHeadof Household 21.21%

Married w/ Minors 28.69%

Married w/o Minors 41.24%

Male w/ Minors 4.71% Female w/ Minors 13.14%

MAPS

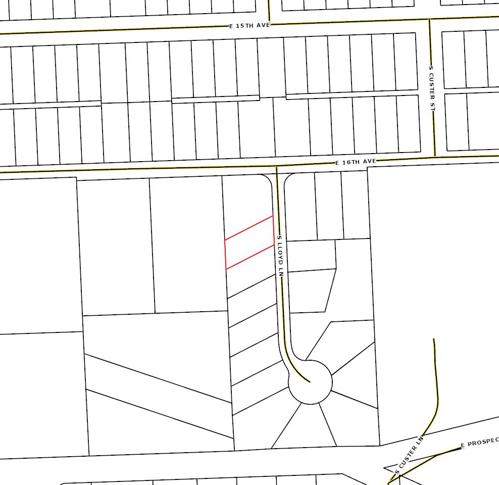
ASSESSOR MAP

STREET

AERIAL MAP

CI TY B OUNDARY MAP

SCHOOLS

SCHOOLS

Spokane School Disrict

ELEMENTARYSCHOOLS

NAME: AllSaintsCatholicSchool

CHARTER SCHOOL: ADDRESS: 3510E18ThAve MAGNET SCHOOL: CITY, STATE, ZIP: Spokane,WA99223 AREA DESCRIPTION: PHONE: DISTANCE: 0.81mile(s) GRADES: - TITLE ONE:

NAME: LincolnHeightsElementary

CHARTER SCHOOL: No ADDRESS: 3322E22NdAve MAGNET SCHOOL: No CITY, STATE, ZIP: Spokane,WA99223 AREA DESCRIPTION: 12-City:Mid-size PHONE: (509)354-3300 DISTANCE: 1.07mile(s) GRADES: Prekindergarten-6thGrade TITLE ONE: 1-Yes

MIDDLESCHOOLS

NAME: ChaseMiddleSchool

CHARTER SCHOOL: No ADDRESS: 4747E37ThAve MAGNET SCHOOL: No CITY, STATE, ZIP: Spokane,WA99223 AREA DESCRIPTION: 12-City:Mid-size PHONE: (509)354-5000 DISTANCE: 1.35mile(s) GRADES: 7thGrade-8thGrade TITLE ONE: 1-Yes

NAME: CentennialMiddleSchool

CHARTER SCHOOL: No ADDRESS: 915NEllaRd MAGNET SCHOOL: No CITY, STATE, ZIP: Spokane,WA99212 AREA DESCRIPTION: 13-City:Small PHONE: (509)922-5482 DISTANCE: 2.56mile(s) GRADES: 6thGrade-8thGrade TITLE ONE: 1-Yes

HIGHSCHOOLS

CHARTER SCHOOL: No ADDRESS: 5600E8ThAve MAGNET SCHOOL: No CITY, STATE, ZIP: Spokane,WA99212 AREA DESCRIPTION: 13-City:Small PHONE: (509)533-6910 DISTANCE: 0.71mile(s) GRADES: 8thGrade-12thGrade TITLE ONE: 2-No

NAME: TheHealingLodge

NAME: FerrisHighSchool

CHARTER SCHOOL: No ADDRESS: 3020E37ThAve MAGNET SCHOOL: No CITY, STATE, ZIP: Spokane,WA99223

AREA DESCRIPTION: 12-City:Mid-size PHONE: (509)354-6000 DISTANCE: 1.88mile(s) GRADES: 9thGrade-12thGrade TITLE ONE: 1-Yes

29,036 2020-21 school year Spokane School District 7% 94% Have Regular Attendance 35% Have High English Language Arts Growth 34% Have High Math Growth 59% 200 N BERNARD ST SPOKANE, WA 99201-0282 509.354.5900 20.0 1,972 65.7% 14.6 46% 45% 56% Finances 2018-19 school year Some data is suppressed to protect student privacy and will be represented by N<10, blank fields indicate no data was submitted to OSPI for this district or school. To see more, visit https://washingtonstatereportcard.ospi.k12.wa.us/ If you have questions or comments, contact ReportCardRedesign@k12.wa.us $12,763 $2,017 Average Class Size 2018-19 school year 2018-19 school year 2018-19 school year 2019-20 school year 2019-20 school year
483 2021-22 school year Lincoln Heights Elementary Have Regular Attendance 41% Have High English Language Arts Growth 50% Have High Math Growth 56% 3322 E 22Nd Ave Spokane, WA 99223-3900 5093543300 39 53.8% 12.2 Finances 2019-20 school year Some data is suppressed to protect student privacy and will be represented by N<10, blank fields indicate no data was submitted to OSPI for this district or school. To see more, visit https://washingtonstatereportcard.ospi.k12.wa.us/ If you have questions or comments, contact ReportCardRedesign@k12.wa.us Fall 2021 2018-19 school year 2018-19 school year 2020-21 school year 2020-21 school year $41,397,858 $11,978,148 6.0% 54.7% 28.2% 68.5% 85.1% Average Class Size 23.0 2019-20 school year
699 2021-22 school year Chase Middle School Have Regular Attendance 37% Have High English Language Arts Growth 33% Have High Math Growth 57% 4747 E 37Th Ave Spokane, WA 99223-1206 5093545000 22.0 46 78.3% 15.2 Finances 2019-20 school year Some data is suppressed to protect student privacy and will be represented by N<10, blank fields indicate no data was submitted to OSPI for this district or school. To see more, visit https://washingtonstatereportcard.ospi.k12.wa.us/ If you have questions or comments, contact ReportCardRedesign@k12.wa.us Average Class Size Fall 2021 2018-19 school year 2018-19 school year 2019-20 school year 2020-21 school year $10,846 $2,971 5.2% 51.1% 51.9% 32.1% 90.9%
1,682 2021-22 school year Ferris High School 9th Graders on Track to Graduate 51% Took a Dual Credit Course 93% Graduate in 4 years 43% 3020 E 37Th Ave Spokane, WA 99223-4598 509.354.6000 20.0 98 67.3% 17.7 Finances 2019-20 school year Some data is suppressed to protect student privacy and will be represented by N<10, blank fields indicate no data was submitted to OSPI for this district or school. To see more, visit https://washingtonstatereportcard.ospi.k12.wa.us/ If you have questions or comments, contact ReportCardRedesign@k12.wa.us Average Class Size Fall 2021 2019-20 school year 2019-20 school year 2019-20 school year 2020-21 school year $10,711 $2,971 5.2% 41.0% 51.7% 22.9% 44.8% 90.4%
COMMUNITY

CI TY OF SP OKANE

Spokane is the largest city in Spokane County, Washington, United States. It is in eastern Washington along the Spokane River adjacent to the Selkirk Mountains and west of the Rocky Mountain foothills, 92 miles south of the Canada–U.S. border, 18 miles west of the Washington–Idaho border, and 279 miles east of Seattle along Interstate 90. It is known as the birthplace of Father's Day, and its official nickname is the "Lilac City".

SCHOOL DISTRICTS

Central Valley Cheney Deer Park East Valley Great Northern Freeman Liberty Mead Medical Lake Newport

Nine Mile Falls Orchard Prairie Reardan-Edwall Riverside Rosalia Spokane St. John Tekoa West Valley

POPULATION DENSITY 3,526 inhabitants per sq. mile 94,291 housing units at an average density of 1,591.4 per square mile

HISTORY

HOUSING 55.2% of homes owner occupied 44.8 % of homes rented

AGE DEMOGRAPHIC 22.4% under age 18 12.3% between ages 18 to 24 27.6% between ages 25 to 44 25.1% between ages 45 to 64 12.8% above age 65

CITY QUICK FACTS

69.50 square miles 1,843 feet elevation

Highest Average Temperature 87 Lowest Average Temperature 25.6

The first humans to live in the Spokane area were hunter-gatherers that lived off plentiful fish and game; early human remains have been dated to 8,000 to 13,000 years ago. The Spokane tribe, after which the city is named (the name meaning "children of the sun" or "sun people" in Salishan), are believed to be either their direct descendants, or descendants of people from the Great Plains. When asked by early white explorers, the Spokanes said their ancestors came from "up North."

POPULATION 2020 CENSUS DATA MEDIAN INCOME 2012 CENSUS DATA MEDIAN AGE 2012 CENSUS DATA MALE 2012 CENSUS DATA FEMALE 2012 CENSUS DATA 228,989 $42,274 35 48.8%
51.2%

SP OKANE C OUNTY B ASE MAP

LOCAL BUSINESSES

Gas Station

NameAddressTelephoneDistance

Mobil 3158 E 17th Ave, Spokane, WA 99223, USA (509) 535-2205 0.61 miles

Fred Meyer Fuel Center 3427 E 5th Ave, Spokane, WA 99202, USA (509) 532-0001 0.65 miles

Conoco 305 S Ralph St, Spokane, WA 99202, USA (509) 534-0341 0.69 miles

Mobil 228 S Thor St, Spokane, WA 99202, USA (509) 535-5875 0.75 miles

Car Repair

NameAddressTelephoneDistance

Quick And Classy Auto Care 3210 E Sprague Ave, Spokane, WA 99202, USA 0.88 miles

Peerzo's Automotive 17 S Fiske St Unit A, Spokane, WA 99202, USA (509) 534-1244 0.90 miles

A New Beginning

Automotive - Quality & Reliable Auto Repair Shop, Affordable Automotive Repair Service in Spokane, WA

16 S Fiske St, Spokane, WA 99202, USA (509) 223-0848 0.92 miles

The Higher Class Performance Service & Tuning 4107 E Broadway Ave, Spokane, WA 99202, USA (509) 818-4449 0.99 miles

Car Wash

NameAddressTelephoneDistance

Car Wash Plaza 4th Thor 417 S Thor St #5075, Spokane, WA 99202, USA (509) 496-5439 0.66 miles

Metro Express Car Wash 4201 E Sprague Ave, Spokane, WA 99202, USA (208) 820-2077 0.68 miles

Super Suds Car Wash 2728 E 30th Ave, Spokane, WA 99223, USA (509) 991-7960 1.03 miles

Platinum Shine Mobile Detailing 7422 Sprague Ave, Spokane Valley, WA 99212, USA (509) 842-2939 1.26 miles

LOCAL BUSINESSES

Car Dea e ler

NameAddressTelephoneDistance

Provision Auto Sales and Repair 4816 E 2nd Ave, Spokane Valley, WA 99212, USA (509) 283-8011 0.56 miles

Nicky's Auto Sales 4224 E Sprague Ave, Spokane, WA 99202, USA (509) 290-6608 0.63 miles

TTT Auto Sales 4422 E Sprague Ave, Spokane Valley, WA 99212, USA (509) 535-9210 0.63 miles

D&C Auto Sales 4409 E Sprague Ave ste a, Spokane Valley, WA 99212, USA (509) 769-8222 0.66 miles

Beauty Sa o lon

NameAddressTelephoneDistance

Hair Works 2930 E 29th Ave, Spokane, WA 99223, USA (509) 534-5361 0.94 miles

Creations Hair & Nail Studio 2719 E 31st Ave, Spokane, WA 99223, USA (509) 535-7137 1.04 miles

The Beauty & Barber Shop LLC 7406 E Sprague Ave, Spokane Valley, WA 99212, USA (509) 534-0782 1.25 miles

16th Off Perry Salon 1527 E 16th Ave, Spokane, WA 99203, USA (509) 218-5100 1.29 miles

E e lectrician

NameAddressTelephoneDistance

Power City Electric 3327 E Olive Ave, Spokane, WA 99202, USA (509) 535-8500 1.00 miles

Epic Electrical Enterprise 1107 N Freya St, Spokane, WA 99202, USA (509) 362-9556 1.21 miles

Voltric Electric Inc 125 N Stone St suite b, Spokane, WA 99202, USA (509) 624-6142 1.23 miles

Rainbow Electric, Inc. 809 N Napa St, Spokane, WA 99202, USA (509) 534-3030 1.48 miles

LOCAL BUSINESSES

nsurance Agency

NameAddressTelephoneDistance

Farmers InsuranceMatthew Graupner 5813 E 4th Ave Ste 102, Spokane Valley, WA 99212, USA (509) 232-8085 0.68 miles

Faithful Enterprises Blue Flag, 104 S Freya St building suite 106, Spokane, WA 99202, USA (509) 991-2199 0.70 miles

Farmers Insurance - Brett Hauser 104 S Freya St Bldg Red 202, Spokane, WA 99202, USA (509) 998-4748 0.73 miles

Aflac 104 S Freya St, Spokane, WA 99202, USA (509) 340-3929 0.74 miles

Moving Company

NameAddressTelephoneDistance

U-Pack 400 N Sycamore St, Spokane, WA 99202, USA (844) 611-4582 0.89 miles

DeVries Moving-PackingStorage 112NHavenStSuiteB,Spokane,WA99202,USA (509)924-6000 0.98miles

Pettinger Family Movers 4304 E 41st Ave, Spokane, WA 99223, USA (509) 448-4371 1.07 miles

Movher 6010EBroadwayAve,SpokaneValley,WA99212, USA (509) 954-4777 1.07 miles

Painter

NameAddressTelephoneDistance

Top Coat Finishes 3907 E 8th Ave, Spokane, WA 99202, USA (509) 655-2815 0.40 miles DePaolo'sPaintingInc 3624EFerryAve,Spokane,WA99202,USA (509)482-0825 0.88miles

Preble Painting, LLC 3723 S Myrtle St, Spokane, WA 99223, USA (509) 216-6552 0.99 miles

Work Painting Spokane 2925 E Baldwin Ave, Spokane, WA 99207, USA (509) 822-9819 1.60 miles

LOCAL BUSINESSES

Bank

NameAddressTelephoneDistance

Washington Trust Bank 3510 E Sprague Ave, Spokane, WA 99202, USA (509) 353-5670 0.78 miles

ATM U.S. Bank SpokaneLincoln Heights 2807E29thAve,Spokane,WA99223,USA (800)627-3999 0.98miles

Wells Fargo Bank 2910 E 30th Ave, Spokane, WA 99223, USA (509) 534-4129 0.99 miles

BankofAmericaFinancial Center 2504 E 29th Ave, Spokane, WA 99223, USA (509) 353-1755 1.11 miles

P u lumber

NameAddressTelephoneDistance

Roto-Rooter Plumbing & Water Cleanup 6214EAlki Ave,Spokane,WA99212,USA (509)484-6937 1.05miles

FiveStarPlumbingLLC 0916, 5620 E Desmet Ave, Spokane Valley, WA 99212, USA (509)993-1155 1.12miles

Bulldog Rooter 1110 N Stanley Rd, Spokane, WA 99212, USA (509) 535-3447 1.15 miles

Gold Seal Plumbing 5524EBooneAve,SpokaneValley,WA99212, USA (509) 535-5946 1.16 miles

Post Office

NameAddressTelephoneDistance

United States Postal Service (Metro Hub) 5511EAlki Ave,SpokaneValley,WA99212,USA (509)252-2320 0.94miles

US Post Office 2610 E 29th Ave, Spokane, WA 99223, USA (509) 535-3683 1.09 miles

UnitedStatesPostal Service 1602 E Sprague Ave, Spokane, WA 99202, USA (800) 275-8777 1.42 miles

Wolfari 4923EUnionAve,Spokane,WA99212,USA (509)535-4381 1.43miles

LOCAL BUSINESSES

Fire Station

NameAddressTelephoneDistance

Spokane Fire Department Station 14 1807 S Ray St, Spokane, WA 99223, USA (509) 625-7114 0.59 miles

Edgecliff Fire Station 6306 E Sprague Ave, Spokane Valley, WA 99212, USA (509) 928-1700 0.90 miles

Spokane Fire Department Station 7 1901 E 1st Ave, Spokane, WA 99202, USA (509) 534-7377 1.30 miles

Spokane Fire Department Station 8 1608 N Rebecca St, Spokane, WA 99217, USA (509) 625-7108 1.36 miles

Po ic lice Station

NameAddressTelephoneDistance

Cops SE 2809 E 29th Ave, Spokane, WA 99223, USA (509) 625-3326 0.98 miles Cops East Central 2116 E 1st Ave, Spokane, WA 99202, USA (509) 625-3330 1.19 miles Spokane Police Academy 2302 N Waterworks St, Spokane, WA 99212, USA (509) 742-8100 1.79 miles SpokaneC.O.P.SLogan 2927NPerrySt,Spokane,WA99207,USA 2.29miles

Hospital

NameAddressTelephoneDistance

ChildNeurology-Sacred HeartChildren'sHospital 101 W 8th Ave #4200e, Spokane, WA 99204, USA (509) 474-5440 2.07 miles

SacredHeartChildren's Hospital -Spokane 101 W 8th Ave, Spokane, WA 99204, USA (509) 474-3131 2.07 miles

MultiCareDeaconess Hospital FamilyBirth Center 800 W 5th Ave, Spokane, WA 99204, USA (509) 473-7241 2.37 miles

Shriners Hospitals for Children — Spokane 911W 5thAve,Spokane,WA99204,USA (509)455-7844 2.43miles

LOCAL BUSINESSES

Pharmacy

NameAddressTelephoneDistance

Walmart Pharmacy 5025 E Sprague Ave, Spokane Valley, WA 99212, USA (509) 795-3601 0.70 miles

Jennifer S. Lessiak, PharmD 400 S Ralph St, Spokane, WA 99202, USA (509) 532-4033 0.72 miles

Costco Pharmacy 5601 E Sprague Ave, Spokane, WA 99212, USA (509) 842-0003 0.75 miles

Gates Brian J 3901 E Main Ave, Spokane, WA 99202, USA (509) 534-4300 0.80 miles

Urgent Care

NameAddressTelephoneDistance

CHAS Southgate Medical Clinic 5620SRegal St#11,Spokane,WA99223,USA (509)444-8200 1.84miles

Dr. Mitchell Tippetts 421 S Division St, Spokane, WA 99202, USA (509) 474-2100 2.01 miles

Dr.MaryGilbert 101W 8thAveSte1300,Spokane,WA99204,USA (509)474-3131 2.06miles

Spokane Emergency Physicians 101 W 8th Ave, Spokane, WA 99204, USA (509) 474-3344 2.07 miles

Veterinar y Care

NameAddressTelephoneDistance

LincolnHeightsVeterinary Clinic 2829 E 27th Ave, Spokane, WA 99223, USA (509) 535-3551 0.91 miles

Animal Emergency Clinic 6522E1stAveSTE101,SpokaneValley,WA99212, USA (509) 535-8743 0.95 miles

Regal VeterinaryClinic 3104SRegal St,Spokane,WA99223,USA (509)536-7387 1.03miles

Union Animal Hospital Formerly Affordable Pet Dental Plus 2225ESpragueAve,Spokane,WA99202,USA (509)535-4903 1.20miles

LOCAL BUSINESSES

Campground

NameAddressTelephoneDistance

Trailer Inns RV of Spokane 6021 E 4th Ave, Spokane Valley, WA 99212, USA (509) 535-1811 0.75 miles Camp Hope 218 S Ralph St, Spokane, WA 99202, USA 0.77 miles

RiversideStateParks

Equestrian Area Campground

Equestrian Lane, Spokane, WA 99208, USA (509) 465-5064 4.72 miles

North Spokane RV Campground 10904NNewportHwy,Spokane,WA99218,USA (509)315-5561 5.12miles

Bowling A le lley

NameAddressTelephoneDistance

Valley Bowl Inc 8005 E Sprague Ave, Spokane Valley, WA 99212, USA (509) 926-6245 1.46 miles

North Bowl 125 W Sinto Ave, Spokane, WA 99201, USA (509) 328-7090 2.38 miles

Players & Spectators Event Center 12828 E Sprague Ave, Spokane Valley, WA 99216, USA (509)489-4000 3.25miles

Lilac Lanes & Casino 1112 E Magnesium Rd, Spokane, WA 99208, USA (509) 467-5228 4.29 miles

Gym

NameAddressTelephoneDistance

Predation CrossFit 3627 E Springfield Ave, Spokane, WA 99202, USA (509) 703-9291 1.01 miles

OrangetheoryFitness 2620E29thAve,Spokane,WA99223,USA (509)774-0636 1.05miles

Elevation Fitness 2507 E 27th Ave Suite B, Spokane, WA 99223, USA (509) 456-6917 1.06 miles

Go The Distance Gym 5928 E Boone Ave suite b, Spokane, WA 99212, USA (424) 343-7507 1.21 miles

LOCAL BUSINESSES

Librar y

NameAddressTelephoneDistance

The Hive: A Spokane Public Library 2904 E Sprague Ave, Spokane, WA 99202, USA (509) 444-5300 0.97 miles

Liberty Park Library 402 S Pittsburg St, Spokane, WA 99202, USA 1.28 miles

Spokane Community College Library 1810NGreeneSt,Spokane,WA99217,USA (509)533-8255 1.46miles

Law Library 721 N Cincinnati St, Spokane, WA 99202, USA (509) 324-5792 1.91 miles

Movie Theater

NameAddressTelephoneDistance

Magic Lantern Theatre 25 W Main Ave #125, Spokane, WA 99201, USA (509) 209-2211 2.14 miles

AMCRiverParkSquare20 808W MainAve,Spokane,WA99201,USA (509)458-7578 2.46miles

Regal Northtown Mall 4750 N Division St, Spokane, WA 99207, USA (844) 462-7342 3.22 miles

Garland Theater 924 W Garland Ave, Spokane, WA 99205, USA (509) 327-2509 3.27 miles Park

NameAddressTelephoneDistance

Underhill Park 2910 E Hartson Ave, Spokane, WA 99202, USA (509) 625-6200 0.76 miles

Lincoln Park 2221 E Southeast Blvd, Spokane, WA 99223, USA (509) 755-2489 0.96 miles

EdgecliffPark 800SParkRd,SpokaneValley,WA99212,USA (509)688-0300 1.15miles

Liberty Park 1300 E 5th Ave, Spokane, WA 99202, USA (509) 363-5416 1.37 miles

LOCAL BUSINESSES

Baker y

NameAddressTelephoneDistance

Euro Deli and Bakery 4902 E Sprague Ave, Spokane Valley, WA 99212, USA 0.64 miles

Walmart Bakery 5025 E Sprague Ave, Spokane Valley, WA 99212, USA (509) 795-3598 0.71 miles

Costco Bakery 5601 E Sprague Ave, Spokane, WA 99212, USA (509) 842-0003 0.76 miles

miFLAVOUR 3403 E Sprague Ave, Spokane, WA 99202, USA (509) 315-4516 0.83 miles

Bar

NameAddressTelephoneDistance

The Red Wheel Bar and Grill 501SThorSt,Spokane,WA99202,USA (509)368-9633 0.64miles

Woodshed Pizza 3207 E Sprague Ave, Spokane, WA 99202, USA (509) 315-4921 0.88 miles Bijou 2910E29thAve,Spokane,WA99223,USA (509)862-4165 0.95miles

GeeksNGlory Gaming Bar 6710 E Sprague Ave, Spokane Valley, WA 99212, USA (509) 443-4064 1.03 miles

Coffee

NameAddressTelephoneDistance

Jacob'sJava 1621SRaySt,Spokane,WA99223,USA (509)808-2921 0.58miles

Wake Up Call - Freya 3526 E 5th Ave, Spokane, WA 99202, USA (509) 241-3063 0.60 miles

Vkusniashka Euro Cafe 4902 E Sprague Ave E, Spokane Valley, WA 99212, USA 0.64 miles

Starbucks 5020 E Sprague Ave, Spokane Valley, WA 99212, USA (509) 535-0257 0.65 miles

LOCAL BUSINESSES

Meal De iv liver y

NameAddressTelephoneDistance

Jimmy John's 2931 E. 29th St, Spokane, WA 99223, USA (509) 624-3278 0.90 miles Catered For You, Inc. 723 N Crestline St, Spokane, WA 99202, USA (509) 624-9686 1.42 miles

RoundTablePizza 4510SRegal St,Spokane,WA99223,USA (509)448-2054 1.54miles

Lean Kitchen - South Hill 802 E 29th Ave APT 3, Spokane, WA 99203, USA (509) 290-6195 1.80 miles

Restaurant

NameAddressTelephoneDistance

Dragon Garden Chinese Restaurant 4824 E Sprague Ave, Spokane Valley, WA 99212, USA (509) 533-9001 0.64 miles

Three Sisters Food To Go 4003 E Sprague Ave, Spokane, WA 99202, USA (509) 241-3159 0.70 miles

Atilano's Mexican Food 3624 E Sprague Ave, Spokane, WA 99202, USA (509) 534-7677 0.75 miles

TacosEl CabronLLC 5704 E Sprague Ave, Spokane Valley, WA 99212, USA (509)315-5857 0.75miles

Furniture Store

NameAddressTelephoneDistance

Rent-A-Center 4003 E Sprague Ave, Spokane, WA 99202, USA (509) 535-3838 0.70 miles Aaron's 3611 E Sprague Ave, Spokane, WA 99202, USA (509) 568-1000 0.78 miles SpencersFurniture Express 6404ESpragueAve,SpokaneValley,WA99212, USA (509) 533-5200 0.94 miles

Bide&Burgeon 1730ESpragueAve,Spokane,WA99202,USA (509)536-1764 1.36miles

Groceries

NameAddressTelephoneDistance

Trader Joe's 2975 E 29th Ave, Spokane, WA 99223, USA (509) 534-1077 0.90 miles Rosauers Supermarkets 2610 E 29th Ave, Spokane, WA 99223, USA (509) 535-3683 1.09 miles

Oriental Market 3919 E Trent Ave, Spokane, WA 99202, USA (509) 535-3936 1.27 miles

TargetGrocery 4915SRegal St,Spokane,WA99223,USA (509)822-3274 1.56miles

LOCAL BUSINESSES

Home Improvement

NameAddressTelephoneDistance

Lowe's Home Improvement 5204 E Sprague Ave, Spokane, WA 99212, USA (509) 533-0066 0.64 miles

Country Homes Power Spokane Valley 5323 E Sprague Ave, Spokane Valley, WA 99212, USA (509) 534-9100 0.72 miles

ProSource of Spokane 3820 E Main Ave, Spokane, WA 99202, USA (509) 380-9971 0.77 miles

TheHomeDepot 5617 E Sprague Ave, Spokane Valley, WA 99212, USA (509)534-8588 0.82miles

Jewe r lr y Store

NameAddressTelephoneDistance

Fred Meyer Jewelers 400 S Thor St, Spokane, WA 99202, USA (509) 532-4015 0.72 miles

Mark Webb's Jewelers 604 N Freya St, Spokane, WA 99202, USA (509) 467-0082 0.98 miles

AlphaVariable 2525E29thAveSte10B#303,Spokane,WA 99223, USA (717) 925-7429 1.06 miles

GypsyWears 123E2ndAve,Spokane,WA99202,USA (206)250-1341 1.98miles

Liquor Store

NameAddressTelephoneDistance

AmeriMart 3928E29thAve,Spokane,WA99223,USA (509)535-0082 0.68miles Safeway Liquor Spokane, WA 99223, USA 1.08 miles

Dry Fly Distilling Tasting Room, Gift Shop & Liquor Sales 1003 E Trent Ave, Spokane, WA 99202, USA (509) 489-2112 1.74 miles

Safeway Liquor Spokane, WA 99202, USA 1.98 miles

LOCAL BUSINESSES

Pet Store

NameAddressTelephoneDistance

The Urban Canine 2915 E 29th Ave C, Spokane, WA 99223, USA (509) 744-9663 0.93 miles

Petco - Curbside Pick-Up Now Available! 2805E29thAve,Spokane,WA99223,USA (509)532-0185 0.94miles

Rottweiler And Husky Puppies 3002E30thAve,Spokane,WA99223,USA (440)746-3285 0.97miles

Northwest Seed & Pet 2422 E Sprague Ave, Spokane, WA 99202, USA (509) 534-0694 1.12 miles

Shoe Store

NameAddressTelephoneDistance

RedWing 4902 E Sprague Ave Ste D, Spokane Valley, WA 99212, USA (509)315-8123 0.64miles

BootBarn 5605 E Sprague Ave, Spokane Valley, WA 99212, USA (509)535-3154 0.79miles

NicksHandmadeBoots 6510 E Sprague Ave, Spokane Valley, WA 99212, USA (509)483-1248 0.96miles

Zimmer Northwest 109 S Scott St # B6, Spokane, WA 99202, USA (509) 535-1350 1.74 miles

Shopping Mall

NameAddressTelephoneDistance

Lincoln Heights Shopping Center E27thAve,Spokane,WA99223,USA 0.92miles

The Village At Regal Pond Spokane, WA 99223, USA 1.42 miles ManitoShoppingCenter 810E29thAve,Spokane,WA99203,USA (509)623-1000 1.76miles

Regal Plaza Moran Prairie, Spokane, WA 99223, USA 1.89 miles

LOCAL BUSINESSES

Airpor t

NameAddressTelephoneDistance

Felts Field 6105 E Rutter Ave, Spokane, WA 99212, USA (509) 534-5986 1.77 miles

Spokane Airport E Utah Ave, Spokane Valley, WA 99212, USA 1.77 miles

SpokaneInternational Airport 9000 W Airport Dr, Spokane, WA 99224, USA (509) 455-6455 5.63 miles

MeadFlyingServices Airport 3507 E Deer Rd, Mead, WA 99021, USA (509) 466-3007 6.17 miles

Train Station

NameAddressTelephoneDistance

Spokane, Washington 221 W 1st Ave, Spokane, WA 99201, USA (800) 872-7245 2.19 miles

RESOURCES

UPDATER

Organize and complete all your moving-related tasks! WFG National Title has partnered with Updater, a time-saving free tool geared to simplify and ease the process of moving. Look for a personalized Updater invitation after we complete your Title Report. Registration is totally optional!

Use Updater to: Forward USPS mail Reserve a mover online Update your accounts

Connect utilities Hook up home services Search move-in special offers Share moving announcements with friends & family

For more information on Updater, visit; https://wfgwashington.updater.com/sign-up

SPOKANE UTILITIES

Emergency Police/Medical/Fire 911

Poison Control (800) 222-1222 www.aapcc.org

United States Postal Service (800) 275-8777 www.usps.com

Xfinity (800) 266-2278 www.xfinity.com

Ziply Fiber (866) 699-4759 www.ziplyfiber.com

Verizon (800) 483-4100 www.verizon.com

AT&T (800) 288-2020 www.att.com

CenturyLink (866) 963-6665 www.centurylinkcom

Dish Network (800) 318-0572 www.dish.com

DIRECT TV (800) 531-5000 www.directtv.com

The Spokesman-Review (509) 747-4422 www.spokesman.com

Inlander (509) 325-0634 www.inlander.com

Spokane Journal of Business (509) 456-5257 www.spokanejournal.com

Spokane Transit (509) 328-7433 www.spokanetransit.com

Avista Electric and Gas (800) 227-9187 www.myavista.com

City of Spokane Water Provider (509) 625-7800 www.my.spokanecity.org/water

Spokane Solid Waste Management (509) 343-9652 www.my.spokanecity.org/ solidwaste

Spokane School District (509) 354-5900 www.spokaneschools.org

CHANGE OF ADDRESS

USPS

Below is the website if you would like to change your address online or you can visit your local post office, they will provide you with the change of address packet. https://moversguide.usps.com

Benefits you will receive when you change your address online are:

Exclusive mover savings coupons

Safe and secure with identity verification by a simple $1.00 charge to your credit or debit card

Email confirmation at the end of registration of your change of address

* Must have valid email address and credit card to register online.

AUTO REGISTRATION AND DRIVER LICENSING

Below is the website if you would like to change your address online or you can visit your local department of licensing.

Department of Licensing Spokane County Motor Vehichle Licensing 1116 W Broadway Ave 1st Floor (509) 477-2222 dol.wa.gov

AIRWAY AUTO LICENSING 13101 W 14th Avenue (509) 244-1763

AUTO LICENSING PLUS 328 N Sullivan Road, Suite 7 (509) 927-4177

DEER PARK 222 W Crawford (509) 276-2177

DOWNTOWN 628 S Washington (509) 455-8320

MARKET STREET 4011 N Market Street (509) 290-5527

NORTH SPOKANE 10208 N Division, Suite 109 (509) 464-2294

SOUTH HILL 2727 S Mount Vernon, Suite 3B (509) 534-6022

SPOKANE VALLEY 9405 E Sprague Avenue (509) 928-7981

VOTERS REGISTRTION

TO REGISTER TO VOTE, YOU MUST BE:

A citizen of the USA

A Legal Resident of Washington State at least 18 years of age on or before the next election.

In the State of Washington, you do not have to register by political party or declare a political party membership to vote in the state’s regular primaries or general election.

HOW TO REGISTER

Washington citizens have access to several convenient methods of signing up to vote, including registration by mail and Motor Voter registration.

Mail-in registration forms are available from your county auditor or county elections department as well as other government offices, public libraries, and schools.

Motor Voter registration is offered when you renew or apply for your driver’s license. In most instances, it takes less than a minute.

REGISTRATION DEADLINE

You may register to vote at any time, but you must be registered at least 30 days before an election, if you want to vote on election day.

You may also register between 15 and 30 days before an election, but you must do so at a location designated by the county elections office, and you will be required to vote by absentee ballot.

CHANGE OF ADDRESS

If you move to a new county, you must complete a new voter registration, otherwise you must request a transfer of your registration.

Voter Information Hotline: (800) 448-4881 TTY (800) 422-8683

Spokane County Voter Registration: (590) 477-2320

MOVING CHECKLIST

UTILITIES

Electric

NW Natural Gas Water District

Sewer District Garbage Provider Cable/Satellite Fuel (Propane) Phone Services

Internet

FINANCIAL

Banks and Credit Unions

Credit Card Companies (including department store credit cards) Lenders (Mortgage, Home Equity, Auto, Student Loans) Insurance Companies (Health, Renters, Auto, Home, Medical, Dental, Disability, Life) Retirement (Pension plans, 401K, Social Security, Veterans Affairs) Investments (Investment Agencies and Brokers) Online Bill Payer Paypal

GOVERNMENT

US Post Office Department of Motor Vehicles (Obtain your driver’s license and change vehicle registration)

IRS Passport Office Veteran Affairs Unemployment Office (If you are currently receiving unemployment benefits)

HEALTH

Physician Pharmacies

SERVICE

PROVIDER

Childcare Housecleaning Services Delivery Services Lawn Care Services Veterinarian Pool Service

MEMBERSHIPS

Health Clubs Membership Clubs (AAA or similar) Community Groups (PTA, Neighborhood Associations, Civic Clubs) Children’s Extracurricular Activities (Dance Classes, Music Lesson, Sports Clubs)

SUBSCRIPTIONS

Newspapers Magazine (USPS will only forward 2 months) Movie Subscriptions Book or Music Clubs

OTHER

Friends and Family Employers (typically notify the HR Department)

MOVING CHECKLIST

8 WEEK BEFORE YOU MOVE

Inventory Sheets: Create an inventory sheet of all your belongings which need to be moved

Research Moving Options: You’ll need to decide if yours is a do-it-yourself move or if you’ll be using a moving company.

Request Moving Quote: Solicit moving quotes from as many moving companies and movers as possible. There can be a large difference between rates and services within moving companies.

Discard Unnecessary Items: Moving is a great time for ridding yourself of unnecessary items. Have a yard sale or donate unnecessary items to charity.

Packing Material: Gather moving boxes and packing material for your move.

Contact Insurance Companies: You’ll need to contact your insurance agent to cancel/transfer your insurance policy.

1 WEEK BEFORE YOU MOVE

Your Change of Address: Change your address with the USPS, DMV, Financial Institutions, Utilities, Government Offices, Health Care Service Providers, Memberships, Subscriptions and Insurance Provisions.

Bank Accounts: Transfer or close bank accounts if changing banks. Make sure to have a money order for paying the moving company.

Service Automobiles: If automobiles are to be driven long distance, you’ll want to have them serviced so you have a trouble-free drive.

Cancel Services: Notify any remaining service providers (newspapers, lawn services, etc.) of your move.

Travel Items: Set aside all items you’ll need while traveling. Make sure these are not packed on the moving truck..

Contact Utility Companies: Set utility turnoff date, seek refunds and deposits and notify them of your new address.

4 WEEK BEFORE YOU MOVE

4 BEFO

Start Packin location Obtain You dentist and an records or m

4Start Packing: Begin packing all things destined for your new location.

Obtain Your Medical Records: Contact your doctor, physician, dentist and other medical specialists who may currently be retaining any of your family’s medical records. Obtain these records or make plans for them to be delivered to your new medical facilities if changing. Security is critical of personal records.

Note Food Inventory Levels: Check your cupboards, refrigerator and freezer. Use up as much of your perishable food as possible.

Small Engines: Service small engines for your move by extracting gas and oil from the machines. This will reduce that chance to catch fire during your move.

Protect Jewelry and Valuables: Transfer your jewelry and valuables to a safety deposit box; you don’t want them to be lost or stolen during your move.

Borrowed and Rented Items: Return items that you may have borrowed or rented. Collect items borrowed to others.

MOVING DAY

DA

Plan Your the house Someone

Plan Your Itinerary: Make plans to spend the entire day at the house or at least until the movers are on their way. Someone will need to be around to make decisions. Make plans for kids and pets to be at a sitters for the day.

Review the House: Once the house is empty, check the entire house (closets, attic, basement, etc.) to ensure no items are left or no home issues exist.

Double Check With Your Mover: Ensure the mover has the new property address and all of your most recent contact information, should they have any questions during your move.

Vacate Your Home: Make sure utilities are off, doors and windows are locked and notify your real estate agent you’ve vacated the property.

Questions To Ask: Where is the garage door opener? Where are the keys to the house, mailbox and other lockable area? Did you retrieve all keys from neighbors and friends?

1
1 Your USPS Office *

THE HOME DEPOT

(800) 466-3337 www.homedepot.com

E Spokane (509) 534-8588 5617 E Sprague Ave Spokane, WA 99212

N Spokane (509) 466-8991 9116 N Newport Hwy Spokane, WA 99218

Liberty Lake (509) 891-0613 21701 E Country Vista Dr Liberty Lake, WA 99019

LOWES (800) 466-3337 www.lowes.com

N Spokane (509) 484-6620

6606 N Division St Spokane, WA 99208

Spokane Valley (509) 533-0066

5204 E Sprague Ave Spokane, WA 99212

E Spokane (509) 893-9960

16205 E Broadway Ave Spokane, WA 99037

MOVING RESOURCES

DONATION FACILITIES

Goodwill (800) 741-0186 locator.goodwill.org

The Salvation Army (800) 958-7825 www.salvationarmyusa.org

MOVING TRUCK RENTALS

Budget (800) 462-8343 www.budgettruck.com

Penske (888) 996-5415 www.pensketruckrental.com

Ryder (800) 297-9337 www.ryder.com

U-Haul (800) 468-4285 www.uhaul.com

STORAGE COMPANIES

NW Self Storage www.nwselfstorage

Secure-IT Self Storage (509) 315-4202 www.secure-itstorage.com

Pods (888) 309-8967 www.pods.com

TRANSFER STATIONS

Garbage/Recycling

Spokane County North (509) 477-6800 spokanecounty.org

Spokane County Valley (509) 477-6800 spokanecounty.org 3941 N Sullivan Road Spokane Valley, WA 99216

Waste Management-Graham Rd (866) 909-4458 wm.com 1820 S Graham Road Medical Lake, WA 99022

Waste Management-Spokane Valley (866) 909-4458 wm.com 11321 E Indiana Road Spokane, WA 99206

RESOURCE GUIDE

AIRPORT

Spokane International Airport (509) 455-6455 www.spokaneairports.net

AUTO & DRIVER REGISTRATION

DMV (360) 902-3900 www.dol.wa.gov

BUS SERVICE

Spokane Transit (509) 328-7433 www.spokanetransit.com

Greyhound (800) 231-2222 www.greyhound.com

Northwestern Stage Lines (509) 838-4029 www.northwesternstagelines.com

CABLE TV & INTERNET

Verizon (888) 881-8161 www.verizon.com

XFINITY (Comcast) (800) 934-6489 www.comcast.com

CITY CONTACT

Airway Heights (509) 244-5578 www.cawh.org

Cheney (509) 498-9200 www.cityofcheney.org

Deer Park (509) 276-8801 www.cityofdeerparkwa.com

CITY CONTACT CONTINUED

Liberty Lake (509) 755-6700 www.libertylakewa.gov

Medical Lake (509) 565-5000 www.medical-lake.org

Millwood (509) 924-0960 www.millwoodwa.us

Spangle (509) 245-3260 www.citydirectory.us/townspangle

Spokane (509) 755-2489 www.my.spokanecity.org

Spokane Valley (509) 720-5000 www.spokanevalley.org

Fairfield (509) 283-2414 www.fairfieldwa.com

Latah (509) 286-3471 www.latahwa.com

Rockford (509) 291-4716 www.rockfordwa.com

Waverly (509) 283-4122 www.citydirectory.us/townwaverly-washington

COUNTY CONTACT

Spokane (509) 477-2240 www.spokanecounty.org Taxation (509) 477-3698

ELECTRICITY

Inland Power (509) 747-7151 www.inlandpower.com

Modern Electric Water Company (509) 928-4540 www.modernelectricwater.com

Avista (800) 227-9187 www.myavista.com

HOSPITALS

MultiCare Deaconess Hospital (509) 473-5800 www.multicare.org

MultiCare Valley Hospital (509) 924-6650 www.multicare.org

Providence Holy Family Hospital (509) 482-0111 www.washington.providence.org

Providence Sacred Heart Medical Center & Children’s Hospital (509) 474-3131 www.washington.providence.org

Shriners Hospital for Children (509) 455-7844 www.shrinershospitalsforchildren.org

NATURAL GAS

Avista Utilities (800) 227-9187 www.myavista.com

RESOURCE GUIDE

NEWSPAPERS

Cheney Free Press (509) 235-6184 www.cheneyfreepress.com

Spokesman-Review (509) 459-5000 www.spokesman.com

The Tribune (509) 276-5043 www.dptribune.com

Valley News Herald (509) 924-2440

Liberty Lake Splash (509) 242-7752 www.libertylakesplash.com

Inlander (509) 325-0634 www.inlander.com

RECREATION

Fair & Expo Center (509) 477-1766 www.spokanecounty.org

Spokane Convention Center (509) 279-7000 www.spokanecenter.com

Mt. Spokane Ski & Snowboard (509) 238-2220 www.mtspokane.com

Mobius Discovery Center (509) 321-7121 www.mobiusdiscoverycenter.org

Eagles Ice Arena (509) 489-9295 www.eaglesicearena.com

Wonderland Family Fun Centre (509) 468-4386 www.wonderlandspokane.com

RECREATION CONTINUED

Pattisons North Skating Rink (509) 466-8133 www.pattisonsnorth.com

Splashdown Family Waterpark (509) 924-3079 www.splashdownwaterpark.net

Riverfront Park (509) 625-6600 www.my.spokanecity.org/ riverfrontspokane

Mica Moon Zip Tours (509) 587-4020 www.micamoon.com

The Blue Zoo (877) 425-8396 www.bluezoo.us

Spokane Civic Theatre (509) 325-2507 www.spokanecivictheatre.com

Spokane Valley Heritage Museum (509) 922-4570 www.spokanevalleymuseum.com

Spokane Arena (509) 279-7000 www.spokanarena.com

Indian Canyon Golf Course (509) 747-5353

The Creek at Qualchan Golf Club (509) 448-9317

Downriver Golf Course (509) 327-5269

Liberty Lake Golf Course (509) 255-6233

Latah Creek Golf Course (509) 448-1212

RECREATION CONTINUED

Nishinomiya Tsutakawa Japanese Garden (509) 363-5455

Cougar Crest Estate Winery (509) 241-3850 www.cougarcrestwinery.com

Cheney Historical Museum (509) 850-0314 www.cheneymuseum.org

Lilac Garden (509) 625-6624

Spokane Chiefs Hockey (509) 328-0450 www.spokanechiefs.com

Spokane County Raceway (509) 988-0106 www.spokanecountyraceway.com

Spokane Indians Baseball (509) 343-6886 www.milb.com/spokane

Spokane Symphony (509) 326-3136 www.spokanesymphony.org

Regal Cinemas (800) FANDANGO www.regalcinemas.com

Silverbow Guided Fly Fishing (509 924-9998 www.silverbowflyshop.com

Lake Roosevelt Fishing Charters (509) 464-9657 www.lakerooseveltcharters.com

Row Adventure Center (866) 836-9340 www.rowadventurecenter.com

RESOURCE GUIDE

SHOPPING

Spokane Valley Mall (509) 926-5575 www.spokanevalleymall.com

NorthTown Mall (509) 482-0209 www.northtownmall.com

River Park Square (509) 363-0304 www.riverparksquare.com

Northtown Square (509) 951-9720 www.northtownsquare.com

Silver Lake Mall (208) 762-2113 www.silverlake.center

TELEPHONE SERVICE

Verizon (800) 483-4100 www.verizon.com

AT&T (800) 288-2020 www.att.com

TRANSFER STATIONS

Spokane County North (509) 477-6800 www.spokanecounty.org

22123 N Elk Chattaroy Rd Colbert, WA 99005

Spokane County Valley (509) 477-6800 www.spokanecounty.org

3941 N Sullivan Rd Spokane Valley, WA 99216

Spokane Waste to Energy Facility (509) 625-6580

2900 S Geiger Blvd Spokane, WA 99208

VOTER REGISTRATION

Spokane County (509) 477-2320

COUNTY DEPARTMENTS

Sheriff (509) 477-2240

Fire (509) 625-7000

Humane Society (509) 467-5235

Assessor (509) 477-3698

Auditor (509) 477-2217

Building & Planning (509) 477-3675

District Court (509) 477-4770 Road Maintenance (509) 477-3600

Treasurer (509) 477-4713

Veteran Services (509) 477-3690

COLLEGES & UNIVERSITIES

Gonzaga University (800) 986-9585 www.gonzaga.edu

Whitworth University (509) 777-1000 www.whitworth.edu

Spokane Community College (509) 533-7000 www.scc.spokane.edu

WATER BUREAU

Airway Heights (509) 244-5429

Cheney (509) 498-9293

Deer Park (509) 276-8801

Liberty Lake (509) 922-5443

Medical Lake (509) 565-5000 Millwood (509) 926-4563 Spangle (509) 245-3260

Spokane (509) 625-7800

Spokane Valley (509) 625-7800

Fairfield (509) 283-2414

Latah (509) 286-3471

Rockford (509) 291-4716

Waverly (509) 625-7800

ESCROW

CYBER SECURITY

Because of you… we obsess over cyber security!

Cyber fraud and email hacking are on the rise. Fraudsters may access individual email accounts and monitor the life of your transaction. At the time funds are due to the escrow, fraudsters intercept the information for wiring funds, and the fraudsters change the information without the knowledge of the sender or recipient, resulting in the funds being sent to an outside account and never credited to the intended party.

To protect and reduce your risk, WFG has implemented the following procedures for outgoing and incoming wires:

Outgoing Wire from WFG to seller or borrower for proceeds

In the escrow paperwork provided you will be asked to provide written instructions on how you want funds due you sent to you at the close of escrow. If you choose to have the funds sent via wire transfer, WFG will contact you by phone to confirm the wire information provided.

Incoming Wires from the buyer and/or lender to WFG bank account

For funds that are to be wired to WFG for your transaction, we will send specific wire instructions to the remitting person via an encrypted email. We recommend you reach out to your WFG contact to confirm the wire instructions prior to remittance.

We look forward to processing your escrow transaction for you. We know that this can be a stressful time and we are here to assist you in any way we can to make this a good experience.

http://national.wfgnationaltitle.com/2016/04/05/obsess-cyber-security/

OWNERS TITLE INSURANCE Why it's important

Financially speaking, the decision to buy a home is one of the biggest decisions a person will likely ever make.

Owner’s title insurance ensures that, when the purchase is closed, the buyer is the owner of and has marketable title to the property, has access to the home, and there are no liens, claims or restrictions on the buyer’s property, other than the mortgage the buyer agrees to pay.

If the preliminary title search uncovers potential problems, a buyer can require that those problems are satisfactorily dealt with before closing on the home.

In addition, owner’s title insurance protects buyers against a myriad of risks that not even the most careful title search can uncover, including things such as forged documents, undisclosed or missing heirs of a previous owner, fraud, will dispute, and unrecorded claims of many types.

Without the owner’s title insurance, the legal costs to resolve such title claims could easily be in the tens of thousands of dollars and would have to be paid out of pocket by the buyer - not to mention the stress that such situations would cause to the buyer.

Owner’s title insurance is one of the most affordable insurance policies a person can ever buy. Unlike other forms of insurance, there is only a one-time fee at closing for the policy, which financially protects the buyer’s investment for as long as the buyer or the buyer’s heirs own the home.

So, if someone tells the buyer that the owner’s title insurance is “optional”, that certainly does not mean that the buyer should not get it. Virtually every lender requires a lender’s title insurance, but that insurance does not protect the buyer.

In order to safeguard the buyer’s investment in the property, which is possibly the most important investment the buyer will ever make, owner’s title insurance is absolutely critical.

WHAT IS ESCROW?

Understanding the Escrow Process

An escrow is an arrangement in which a neutral third party (the escrow agent) assembles and processes many of the components of a real estate transaction, records the transaction, and ultimately, disburses and distributes funds according to the buyers’, sellers’ and lenders’ instructions. Your transaction is typically closed by an Escrow Officer. People buying and selling real estate usually open an escrow for their protection and convenience. Both the buyer and seller rely on the escrow agent to carry out their written instructions relating to the transaction and to advise them if any of their instructions are not mutually consistent or cannot be carried out. If the instructions from all parties to an escrow are clearly drafted, the escrow officer can proceed on behalf of the buyer and seller without further consultation. This saves much time and facilitates the closing of the transaction.

TYPICAL ROLES IN THE CLOSING PROCESS

The Seller/Agent

Delivers a fully executed Purchase Sale Agreement to the escrow agent. Executes the paperwork necessary to close the transaction.

The Buyer/Agent

Deposits collected funds required to close (in with the escrow agent. Approves the commitment for title insurance, or other items as called for by the Purchase Sale Agreement.

Executes the paperwork and loan documents necessary to close the transaction.

The Lender

Deposits loan documents to be executed by the buyer

Deposits the loan proceeds.

Directs the escrow agent of the conditions under which the loan funds may be used

The Escrow Agent

Clears Title Obtains title insurance Obtains payoffs and release documents for underlying loans on the property Receives funds from the buyer and/or lender. Prepares vesting document affidavit on seller’s behalf.

Prorates insurance, taxes, rents, etc. Prepares a final statement (often referred to as the “HUD Statement” or ”Settlement Statement”) for each party, indicating amounts paid in conjunction with the closing of your transaction. Forwards deed to the county for recording. Once the proper documents have been recorded, the escrow agent will distribute funds to the proper parties.

In Summary

Escrow is the process that assembles and processes many of the components of a real estate transaction. The sale is officially closed when the new deed is recorded and funds are available to the seller, thus transferring ownership from the seller to the buyer. The escrow agent is a neutral third party acting

WHAT IS TITLE?

About Title Insurance

Title is a bundle of rights in real property. Protecting purchasers and lenders against loss is accomplished by the issuance of a title insurance policy. Usually, during a purchase transaction, the lender requests a policy (commonly referred to as the Lender’s Policy) while the buyers receive their own policy (commonly referred to as an Owner's Policy).

In short, the policy states that if the status of the title to a parcel of real property is other than as represented, and if the insured (either the owner or lender) suffers a loss as a result of a title defect, the insurer will reimburse the insured for that loss and any related legal expenses, up to the face amount of the policy, subject to exceptions and exclusions contained in the policy.

Typically there are two policies issued. The Mortgagee’s Policy insures the lender for the amount of the loan. The Owner’s Policy insures the purchaser of the purchase price.

How is title insurance different from other types of insurance?

While the function of most other forms of insurance is risk assumption through the pooling of risks for losses arising out of unforeseen future events (such as sickness or accidents), the primary purpose of title insurance is to eliminate risks and prevent losses caused by defects in title arising out of events that have happened in the past. To achieve this goal, title insurers perform an extensive search and examination of the public records to determine whether there are any adverse claims (title defects) attached to the subject property. Said defects/claims are either eliminated prior to the issuance of a title policy

or their existence is excepted from coverage. Your policy is issued after the closing of your new home, for a one-time nominal fee, and is good for as long as you own the property.

What’s involved in a title search? A title search is actually made up of three separate searches:

Chain of Title – History of the ownership of the subject property

Tax Search – The tax search reveals the status of the taxes and assessments Judgment and Name Search – Searches for judgment and liens against the owners’ and purchasers’ names

Once the three searches have been completed, the file is reviewed by an examiner who determines:

Whether or not the Chain of Title shows that the party selling the property has the right to do so. The status of taxes for the subject property. The Tax Search will also indicate the existence of any special assessments against the land and whether or not these assessments are current or past due.

Whether there are any unsatisfied judgments on the Judgment and Name Search against the previous owners, sellers, or and purchasers.

Rights established by judgment decrees, unpaid federal income taxes and mechanic liens all may be prior claims on the property, ahead of the buyer’s or lender’s rights. The title search will only uncover defects in title that are of public record, thus allowing the title company to work with the seller to clear up these issues and provide the new buyer with title insurance.

In Summary

After the searches have been examined, thetitlecompanywillissueacommitment, stating the conditions under which it will insure title. The buyer, seller and the mortgage lender will proceed with the closing of the transaction after clearing up any defects in the title that have been uncovered by the search and examination.

.

WHO PAYS WHAT IN WASHINGTON

SELLER PAYS

BUYER PAYS

Real estate commission

Owner’s title insurance premium

Escrow fee, one half (1)

Real estate excise tax (1.78%2 based on sales price)

Loan costs required under the FHA/VA provisions of the contract (4) Payoff of all loans in Seller’s name (or existing loan balance if being assumed by Buyer)

Statement fees, reconveyance fees (including associated recording charges), and any loan prepayment penalties

Work orders, such as termite inspection or home repairs (1)

Home warranty (1) Encumbrances (such as judgements and tax liens) against the seller

Tax pro-ration (for any unpaid taxes up to the time of transfer of title)

Delinquent taxes

Unpaid homeowner’s dues Assessments or bonds (1) Notary fees (if applicable) Courier fees (if applicable)

1 Subject to Purchase and Sale

Lender’s title insurance premium (if applicable)

Escrow fee, one half (1) Recording charges for all documents in the buyer’s name Inspection Fees (1) Tax pro-ration (for any taxes from time of transfer of title to end of the tax payment period)

All new loan charges (except for those required by lender for seller to pay)

Hazard insurance premium for first year Interest on a new loan from date o funding to 30 days prior to first payment Document preparation (if applicable)

Home warranty1 Notary fees (if applicable) Courier fees (if applicable)

This flyer is not intended to be an all-inclusive list of fees and charges on every transaction, but rather a guide to the major costs of buying or selling real property. WFG would be happy to review and explain your closing cost prior to finalizing the transactions.

2 State Excise Tax is 1.28% plus 0.50% for County Tax (May vary by county, consult with your Escrow Officer)

3 Financing Addendum to PSA - $300 maximum for any fees that lender can charge to Buyer

4 Up to $300 FHA/USDA/VA loans and buyer’s share of the escrow fee for a VA loan

PARTIES DIVISION

TITLE VESTING Common ways to hold title to real property

JOINT TENANCY TENANCY IN COMMON COMMUNITY PROPERTY PARTNERSHIP

Any number of persons Any number of persons

Ownership interests must be equal

TITLE PURCHASER CONVEYANCE

There is only one title to the whole property

Ownership can be divided into any number of interests, equal or unequal

Each co-owner has a separate title to his or her undivided interest

Married persons and domestic partners

Husband and wife’s or domestic partner’s interest must be equal

Related or unrelated parties

Ownership interest is in relation to interest in the partnership

There is only one title to the whole property

Purchaser will become a tenant in common with the other owners of the property

All owners must agree on use and disposition of property

DEATH

Property passes to survivors without going through probate

Purchaser will become a tenant in common with the other owners of the property

Individual co-owners do not need the consent of the other to use or dispose

Individual's interest passes to designated heirs through probate

SUCCESSOR'S STATUS

Last survivor owns property

Devisees or heirs become tenants in common

Purchaser cannot acquire one owner’s interest and hold as community property

Husband and wife or domestic partners must agree to use and disposition of property

On spouse’s/ domestic partner’s death, surviving spouse/ domestic partner

Surviving spouse or domestic partner owns property

Each co-owner’s interest is owned in partnership for partnership purposes

Purchaser can only acquire the whole title unless he or she becomes a partner

Partnership sets parameters for use and disposition of the property

Partnership interest passes to designated heirs who would become partners

Devisees or heirs have no rights in specific partnership property

WFG OFFICE LOCATIONS

CENTRAL / CATALDO

25 West Cataldo Ave., Ste. B Spokane, WA 99201 509-532-9009

MULLAN

200 N Mullan Rd., Ste. 124 Spokane, WA 99206 5099-928-9801

1 2

CONTENTS

The information contained is provided by WFG’s Customer Service Department to our customers, and while deemed reliable, is not guaranteed.

Market Report WFG's My Home Talking House Tent Cards CC&R's (if applicable)
Exhibit A Altos

“A” The real property described above is commonly known as: 1612 S Lloyd Lane Spokane, WA 99212

Initials

[__________] [__________] ___________ [__________] [__________] __________ Buyer
Seller
Initials Date
Date . Exhibit

Spokane, WA 99212

REPORT FOR 12/13/2022

Single-Family Homes

Presented by WFG National Title Company reports@wfgnationaltitle.com

Your Local Market Report

This week the median list price for Spokane, WA 99212 is $457,500 with the market action index hovering around 44. This is less than last month's market action index of 45. Inventory has decreased to 34.

Market Action Index

This answers “How’s the Market?” by comparing rate of sales versus inventory.

Real-Time Market Profile

Median List Price$457,500 Median Price of New Listings $225,000 Per Square Foot$224 Average Days on Market 79

Slight Seller's Advantage

The market remains in a relative stasis in terms of sales to inventory. Prices have not been moving higher for several weeks. However, inventory is sufficiently low to keep us in the Seller’s Market zone so watch changes in the MAI. If the market heats up persistently, prices are likely to resume an upward climb.

Market Segments

Median Days on Market 56 Price Decreased82% Price Increased3% Relisted26% Inventory34 Median Rent$1,995 Market Action 44 Slight Seller's Advantage

Single-Family Homes Spokane, WA 99212
Your Local Market Report WFG National Title Company | oregon.wfgnationaltitle.com
LastMonth 44
Buyer's Market Seller's Market 0 10 20 30 40 50 60 70 80 90 100 Tod a y
$269,0009236,500
2 of 6 Tue Dec 13 2022 Powered by Altos Research, Inc. | www.altos.re | Copyright © 2022 Altos Research, Inc.
Each segment below represents approximately 25% of the market ordered by price. Median PriceSq. Ft.Lot SizeBedsBathAgeNewAbsorbedDOM $692,5003,3370.25 - 0.5 acre53.51201112 $543,0002,4798,000 - 10,000 sqft43330035 $424,9002,2000.25 - 0.5 acre42480228
- 8,000 sqft21731256

Median List Price

Again this week we see prices in this zip code remain roughly at the level they’ve been for several weeks. Since we’re significantly below the top of the market, look for a persistent up-shift in the Market Action Index before we see prices move from these levels.

Segments

In the quartile market segments, we see price for this zip code in general with price stagnation in recent weeks. Quartile 4 is down, while the rest of the market is basically flat. Look to the Market Action Index to determine if this plateau is the stage for a prolonged price decline.

Single-Family Homes Spokane, WA 99212 Your Local Market Report WFG National Title Company | oregon.wfgnationaltitle.com
2019May 2020Sep 2020Jan 2021May 2021Sep 2021Jan
$200K $300K $400K $500K $600K $700K
7-Day Average 90-Day Average Dec
2022May 2022Sep 2022
90-Day Upper 90-Day Lower 90-Day Bottom 90-Day Dec 2019May 2020Sep 2020Jan 2021May 2021Sep 2021Jan 2022May 2022Sep 2022 $0 $250K $500K $750K $1.0M $1.3M 3 of 6 Tue Dec 13 2022 Powered by Altos Research, Inc. | www.altos.re | Copyright © 2022 Altos Research, Inc.
Top

Price Per Square Foot

The market plateau is seen across the price and value. The price per square foot and median list price have both been reasonably stagnant. Watch the Market Action Index for persistent changes as a leading indicator before the market moves from these levels.

7-Day Average 90-Day Average

Inventory has been falling in recent weeks. Note that declining inventory alone does not signal a strengthening market. Look to the Market Action Index and Days on Market trends to gauge whether buyer interest is changing with the available supply.

7-Day Average 90-Day Average

Single-Family Homes Spokane, WA 99212 Your Local Market Report WFG National Title Company | oregon.wfgnationaltitle.com
$100 $150 $200 $250 $300
Dec 2019May 2020Sep 2020Jan 2021May 2021Sep 2021Jan 2022May 2022Sep 2022
Inventory
2019May 2020Sep 2020Jan
0 10 20 30 40 50 60 4 of 6 Tue Dec 13 2022 Powered by Altos Research, Inc. | www.altos.re | Copyright © 2022 Altos Research, Inc.
Dec
2021May 2021Sep 2021Jan 2022May 2022Sep 2022

Market Action Index

The market remains in a relative stasis in terms of sales to inventory. Prices have not been moving higher for several weeks. However, inventory is sufficiently low to keep us in the Seller’s Market zone so watch changes in the MAI. If the market heats up persistently, prices are likely to resume an upward climb.

7-Day Average 90-Day Average

Market Action Segments

Not surprisingly, all segments in this zip code are showing high levels of demand. Watch the quartiles for changes before the whole market changes. Often one end of the market (e.g. the highend) will weaken before the rest of the market and signal a slowdown for the whole group.

Single-Family Homes Spokane, WA 99212 Your Local Market Report WFG National Title Company | oregon.wfgnationaltitle.com
Dec 2019May 2020Sep 2020Jan 2021May 2021Sep 2021Jan 2022May 2022Sep 2022 20 40 60 80 100 120
Top 90-Day Upper 90-Day Lower 90-Day Bottom 90-Day Dec 2019May 2020Sep 2020Jan 2021May 2021Sep 2021Jan 2022May 2022Sep 2022 40 60 80 100 20 120 5 of 6 Tue Dec 13 2022 Powered by Altos Research, Inc. | www.altos.re | Copyright © 2022 Altos Research, Inc.

Median Days on Market (DOM)

The properties have been on the market for an average of 60 days. Half of the listings have come newly on the market in the past 45 or so days. Watch the 90-day DOM trend for signals of a changing market.

7-Day Average 90-Day Average

Segments

It is not uncommon for the higher priced homes in an area to take longer to sell than those in the lower quartiles. Top

Single-Family Homes Spokane, WA 99212 Your Local Market Report WFG National Title Company | oregon.wfgnationaltitle.com
Dec 2019May 2020Sep 2020Jan 2021May
0 25 50 75 100 125
2021Sep 2021Jan 2022May 2022Sep 2022
Dec 2019May 2020Sep 2020Jan 2021May 2021Sep 2021Jan 2022May
2022 0 20 40 60 80 100 6 of 6 Tue Dec 13 2022 Powered by Altos Research, Inc. | www.altos.re | Copyright © 2022 Altos Research, Inc.
90-Day Upper 90-Day Lower 90-Day Bottom 90-Day
2022Sep

We believe these are the correct conditions and restrictions.

However, no examination of title has been made and WFG National Title assumes no liability.

RESTRICTIONS

Our search found no CC&R’s of record for this property. However, no examination of title has been made and WFG National Title assumes no liability.

RESTRICTIONS

Turn static files into dynamic content formats.

Create a flipbook
Issuu converts static files into: digital portfolios, online yearbooks, online catalogs, digital photo albums and more. Sign up and create your flipbook.