

























Rota Costa dos Ventos: um paraíso de praias, falésias e dunas
Itinerário combina aventura, descanso e uma imersão na cultura do Ceará.
Páginas 10 e 11





![]()


























Rota Costa dos Ventos: um paraíso de praias, falésias e dunas
Itinerário combina aventura, descanso e uma imersão na cultura do Ceará.
Páginas 10 e 11





Em uma entrevista ao M&E, Cristiano Araújo fez um balanço da feira e falou sobre as perspectivas para o futuro do turismo no Distrito Federal
Natália Strucchi
Entre os dias 26 e 27 de setembro, Brasília recebeu a Abav Expo, um dos mais importantes eventos do setor. Após 22 anos sem sediar a feira, a cidade se mobilizou para receber os participantes e revelou que está trabalhando para se consolidar como um destino em ascensão. O M&E bateu um papo com o secretário de Turismo do Distrito Federal, Cristiano Araújo, que revelou o valor investido para capitanear o evento: R$ 8 milhões. Também abordamos o impacto desse evento para a capital, a infraestrutura disponível e as expectativas de retorno para o setor turístico. Araújo compartilhou ainda sua visão sobre o legado que a feira pode deixar e a importância de Brasília no cenário turístico nacional e internacional. Confira a entrevista completa abaixo.
M&E - Secretário, você mencionou que a realização da Abav Expo aqui em Brasília é como uma Copa do Mundo do Turismo. Como você vê o impacto desse evento para a cidade?
Cristiano Araújo - Essa comparação é bastante pertinente, pois a feira representa um sonho que se concretiza para o nosso setor de turismo. Depois de 22 anos sem sediar um evento dessa magnitude, receber a Abav Expo em Brasília foi uma conquista significativa. Competimos com cidades como Rio de Janeiro e São Paulo, e ao vencermos essa disputa, não só mostramos a força do nosso trade, mas também a importância que Brasília tem como um centro de eventos e turismo no Brasil. O impacto vai muito além do financeiro; é uma oportunidade de colocar Brasília no mapa do turismo nacional e internacional.
M&E - E quanto ao investimento para trazer a Abav Expo para Brasília?
Cristiano Araújo - O investimento foi em torno de R$ 8 milhões, que incluíram tanto o espaço quanto a montagem da feira. Foram mais de 1.500 expositores de mais de 30 países, e essa visibilidade é inestimável. O retorno esperado é muito maior do que o valor investido, não apenas em termos financeiros, mas também em visibilidade e posicionamento de Brasília como um destino turístico de destaque. Esse evento certamente nos ajudará a consolidar Brasília como um polo de turismo e negócios.
M&E - Você acredita que Brasília pode se tornar um destino turístico reconhecido mundialmente?
Cristiano Araújo - Sem dúvida! Assim como Lisboa, Paris e Roma são capitais icônicas, queremos que Brasília seja vista dessa forma. Temos um potencial imenso a ser explorado, com nossa rica oferta cultural,
eventos internacionais e uma gastronomia diversificada. Além disso, estamos cada vez mais integrados a grandes eventos internacionais, como shows e competições esportivas, o que aumenta a nossa visibilidade. Nossa meta é que as pessoas pensem em Brasília como um destino imperdível, não apenas por sua política, mas por tudo que a cidade oferece.


Roy Taylor
A Conferência das Nações Unidas sobre Mudanças Climáticas (COP30), marcada para acontecer entre os dias 10 e 21 de novembro do próximo ano no Brasil, conta com uma expectativa monumental em torno do evento. Com um compromisso renovado com a sustentabilidade e a proteção ambiental, o país se prepara para receber representantes de diversas nações, trazendo não apenas desafios, mas também oportunidades únicas para o turismo nacional. De acordo com estimativas da Fundação Getúlio Vargas (FGV), é esperado um fluxo de mais de 40 mil visitantes durante os principais dias da Conferência. Deste total, aproximadamente 7 mil compõem a chamada “família COP”, formada pelas equipes da ONU e delegações de países membros. Ou seja, uma grande oportunidade do Brasil de apresentar toda a sua potencialidade turística para grandes líderes de outros países e aproveitar para fechar acordos bilaterais.
O Brasil, conhecido por sua biodiversidade impressionante e ecossistemas únicos, se posiciona como um protagonista nas discussões sobre mudanças climáticas. A realização da COP30 em Belém, no Pará, não é apenas uma chance de mostrar nossa rica cultura e hospitalidade, mas também uma oportunidade de destacar iniciativas sustentáveis que estão sendo implementadas em diferentes setores, especialmente no turismo.
A cidade-sede tem investido em infraestrutura, com melhorias nos transportes e na acessibilidade. Além disso, programas de capacitação para profissionais do turismo estão sendo desenvolvidos, visando preparar guias e operadores para
EM DADOS
receber visitantes de todo o mundo com foco em práticas sustentáveis. O turismo responsável, que prioriza o respeito ao meio ambiente e às comunidades locais, será um dos pilares desse evento.
As expectativas são altas, tanto para a promoção do Brasil como destino turístico quanto para a geração de novos negócios. O setor de eventos e turismo está se mobilizando para garantir que a COP30 deixe um legado duradouro, estimulando o ecoturismo e as práticas sustentáveis em todas as regiões do país.
Além disso, a visibilidade internacional proporcionada por um evento dessa magnitude pode atrair investimentos e parcerias estratégicas, fortalecendo o turismo e a economia local. É uma oportunidade de ouro para mostrarmos ao mundo o que temos a oferecer, desde as florestas amazônicas até as praias paradisíacas, sempre com um enfoque na preservação. Estamos apenas no início de um caminho que pode redefinir o futuro do turismo no Brasil. A COP30 é mais do que uma conferência; é uma plataforma para promover o desenvolvimento sustentável e celebrar a rica diversidade cultural e natural do nosso país. Com isso, o Brasil não apenas se posiciona como um líder na luta contra as mudanças climáticas, mas também como um destino turístico inovador e responsável. A contagem regressiva já começou, e estamos prontos para mostrar ao mundo o potencial do Brasil. Que a COP30 seja um marco na história do turismo sustentável, unindo nações em prol de um futuro melhor.
Roy Taylor é presidente do Mercado & Eventos
Natalia Strucchi
O turismo brasileiro vem mostrando sinais claros de recuperação e expansão, como evidenciado pelos dados recentes. Após um período de retração entre 2020 e 2021, causado pela pandemia de Covid-19, o número de viagens realizadas por moradores de domicílios no Brasil saltou de 12,3 milhões para impressionantes 21,1 milhões em 2023, um aumento expressivo de 71,5%. Esse crescimento revela o forte potencial do turismo no país e destaca a importância de fortalecer o turismo doméstico para o desenvolvimento sustentável do setor. Dos 21,1 milhões de viagens realizadas em 2023, cerca de 97% delas tiveram como destino algum ponto dentro do Brasil. Isso demonstra que o turismo doméstico continua sendo a principal força motriz do setor, contribuindo significativamente para a economia local, gerando empregos e promovendo o desenvolvimento de infraestrutura em várias regiões. Com a retomada das atividades, a procura por destinos de sol e praia liderou as preferências dos viajantes, correspondendo a 46,2% do total de viagens, seguida pelas buscas por natureza, ecoturismo e aventura, com 22%, e por cultura e gastronomia, com 21,5%. Esses dados reforçam o enorme potencial que o Brasil possui em suas diversidades naturais e culturais, capaz de atrair não apenas turistas internacionais, mas principalmente o público interno.
Para acompanhar essa crescente demanda e estimular o turismo domés-
tico, é crucial investir na infraestrutura dos destinos e na qualificação dos serviços oferecidos. Cidades e regiões com vocação turística precisam estar preparadas para receber um número cada vez maior de visitantes, com melhores estradas, transporte público eficiente, acomodações acessíveis e seguras, além de serviços de suporte como guias e informações turísticas de fácil acesso.
Além disso, é essencial fortalecer a promoção de destinos menos conhecidos, mas que possuem grande apelo cultural, natural e histórico. Iniciativas de divulgação e incentivo ao turismo em cidades de pequeno e médio porte podem ajudar a distribuir o fluxo turístico e contribuir para o desenvolvimento econômico de diferentes regiões do Brasil. O turismo doméstico tem se mostrado um pilar fundamental para o crescimento do setor no Brasil, e os números de 2023 evidenciam um mercado em plena expansão. Para garantir que esse crescimento seja sustentável e inclusivo, é necessário continuar investindo em infraestrutura, serviços de qualidade e promoção de destinos nacionais. O Brasil possui uma riqueza natural e cultural única, que deve ser cada vez mais valorizada tanto pelos próprios brasileiros quanto por turistas internacionais, e o fortalecimento do turismo interno é um passo crucial nesse processo.
Natália Strucchi é jornalista, pós-graduada em Relações Internacionais e diretora de Redação do M&E
Turismo brasileiro cresce e traça um panorama promissor para os próximos anos
Os primeiros seis meses de 2024 trouxeram resultados animadores para o setor de turismo brasileiro, superando o mesmo período de 2023. Segundo dados do Ministério do Turismo (MTur), da Embratur e da Polícia Federal (PF), cerca de quatro milhões de viajantes internacionais visitaram o Brasil até julho, um aumento de 9,7% em relação ao ano anterior. Esse crescimento não apenas reafirma o país como um dos principais destinos turísticos da América Latina, mas também destaca uma série de fatores que contribuem para essa retomada. Um dos principais motivos para o aumento no número de visitantes é a diversidade de experiências que o Brasil oferece. O país é rico em opções, que vão desde as famosas praias do Rio de Janeiro, do Sul e do Nordeste até os encantadores centros históricos de Minas Gerais. Essa variedade atrai tanto aqueles que buscam relaxar em cenários naturais deslumbrantes quanto os que desejam explorar a riqueza cultural das diversas regiões. Eventos de grande porte, como festivais de música e competições esportivas, têm atraído um público estrangeiro ávido por experiências autênticas. O ecoturismo também se destaca, com projetos de preservação ambiental sendo amplamente promovidos. Destinos como o Pantanal e a Amazônia, conhecidos por sua biodiversidade, estão se tornando cada vez mais procurados por estrangeiros interessados em aventuras na natureza. Não a toa, a Embratur tem apostado na promoção destes destinos nos mercados internacionais.
A atratividade do Brasil para visitantes internacionais vai além de suas belezas naturais. A diversidade cultural do país, somada à hospitalidade, desempenha um papel fundamental na escolha de

tratamentos médicos, devido à qualidade de seus profissionais e à oferta de procedimentos estéticos a preços competitivos. O país ocupa atualmente a 28ª posição global nesse setor, refletindo seu potencial de crescimento.
Foto: IsitsharpiStock muitos turistas. Cidades como Rio de Janeiro e Salvador, com suas festividades e tradições vibrantes, permanecem como paradas obrigatórias. Além disso, a cena cultural efervescente de São Paulo atrai visitantes que buscam uma imersão na arte e na música locais. Outro segmento em crescimento é o turismo médico. De acordo com a Medical Tourism Association (MTA), essa indústria movimenta cerca de 100 bilhões de dólares anualmente, com uma taxa de crescimento entre 15% e 25%. O Brasil se destaca como um dos destinos mais procurados da América Latina para
MELHORIAS NA INFRAESTRUTURA E SEGURANÇA TEM AJUDADO Aspectos como transporte, segurança e facilidades para os viajantes têm influenciado positivamente a experiência dos visitantes. Nos últimos anos, o Brasil investiu em melhorar sua infraestrutura turística, o que é um avanço importante
na atração de estrangeiros. A variedade de opções de hospedagem, que vão desde grandes redes hoteleiras até pousadas e estalagens locais, garante conforto e segurança aos turistas.
Adicionalmente, a alta do dólar e do euro frente ao real tem tornado o Brasil uma opção econômica para muitos, enquanto a isenção de vistos para alguns países facilita ainda mais o acesso de europeus e latino-americanos.
PERSPECTIVAS FUTURAS
Recentemente, Julia Simpson, Presidente e CEO da WTTC, esteve em São Paulo para discutir os números do turismo na América Latina, com foco no Brasil. Além de apresentar projeções para os próximos 10 anos, destacando o crescimento da contribuição econômica do turismo e o aumento de empregos gerados pelo setor, Julia falou sobre as oportunidades que o Brasil tem neste novo momento para o turismo global. Em entrevista ao M&E, Simpson comentou sobre a importância da gestão de destinos turísticos para evitar a sobrecarga em locais populares, citando exemplos positivos, como Dubrovnik, na Croácia, que conseguiu harmonizar a experiência de turistas e moradores locais. Com o overtourism espantando turistas de destinos já consolidados e o interesse crescente por novas experiências, o Brasil se posiciona como uma oportunidade promissora para captar mais turistas. “Com a crescimento da classe média e uma população maior global, mais pessoas quererem ver coisas diferentes. Essa é a maior oportunidade do Brasil para capturar essas pessoas e apresentar o que esse país incrível tem a oferecer”, apostou Julia.
Feira reuniu mais de 22 mil visitantes e mais de 200 horas de conteúdo, com ênfase em sustentabilidade e experiências diferenciadas
Beatriz do Vale
A 61ª edição da Equipotel, evento que abrange todo o mercado de hospitalidade, ocorreu entre os dias 17 e 20 de setembro, no Expo Center Norte, em São Paulo, reunindo um grande público e finalizando a edição deste ano com um resultado muito positivo.
Com uma exposição diversificada, que incluiu palestras, workshops e demonstrações ao vivo, a feira atendeu a todas as necessidades do setor, destacando as últimas tendências e inovações tecnológicas. Milhares de profissionais, expositores e visitantes puderam explorar as mais recentes soluções que estão moldando o futuro da hospitalidade no Brasil.
Este ano, a Equipotel registrou um crescimento significativo, com quase 20% a mais de novas empresas participantes em comparação à edição anterior, consolidando o evento como uma plataforma essencial para a indústria. O destaque de 2024 foi a oferta de soluções tecnológicas voltadas para toda a cadeia hoteleira, refletindo as demandas atuais do mercado. Daniel Pereira, gerente da Equipotel, ressaltou: “Isso mostra que, além da hotelaria vir forte, ela vem renovada, e o segmento de hotel se torna o epicentro dessa renovação.”
Após quatro dias de intensa programação, a Equipotel 2024 encerrou suas atividades com mais de 22 mil visitantes e 420 expositores. A expectativa é que as conexões feitas durante a feira gerem mais de R$ 250 milhões em novos negócios, fortalecendo o crescimento do turismo nacional.
As inovações apresentadas e as parcerias estabelecidas durante o evento indicam um futuro promissor, com um foco crescente em sustentabilidade e tecnologia. Durante a feira, foram debatidos também os impactos positivos do Programa Emergencial para Retomada do Setor de Eventos (PERSE), que, junto a outros tópicos relevantes, ajudaram a criar um cenário otimista para o setor, especialmente no que diz respeito ao aumento das viagens e hospedagens nacionais.
Daniel destacou ainda a importância do pós-evento para o crescimento do setor. “O pós-evento também é fundamental. As empresas começam a se renovar para os estoques do início do ano que vem, para o verão, e encontram tudo isso na Equipotel”, complementou. Com os resultados positivos de 2024, a Equipotel
reafirma seu papel essencial no desenvolvimento da hospitalidade na América Latina. Os preparativos para a próxima edição, já agendada para os dias 16 a 18 de setembro de 2025, em São Paulo, estão em andamento. A

RX, organizadora do evento, promete trazer ainda mais novidades, assegurando que a Equipotel continue a ser uma referência para profissionais e empresas em um mercado cada vez mais competitivo e dinâmico. Além
disso, a expectativa é que a próxima edição amplie ainda mais o debate sobre temas como inovação e sustentabilidade, consolidando a feira como um espaço vital para a troca de experiências e networking no setor.

O veto, já esperado, causou decepção ao setor; entidades esperam resolver a questão através de uma MP

O presidente Luiz Inácio Lula da Silva sancionou, no dia 18 de setembro, a nova Lei Geral do Turismo, após meses de discussões e expectativas no setor. O Projeto de Lei 1.829/2019, que revisa e atualiza a legislação anterior (Lei 11.771/2008), foi aprovado pelo Congresso Nacional e promete impulsionar o turismo brasileiro, que representa cerca de 4% do PIB e gera mais de 7 milhões de empregos.
A cerimônia de sanção, realizada no Palácio do Planalto, contou com a presença de autoridades do setor, incluindo o ministro do Turismo, Celso Sabino, e o relator da Lei, Paulo Azi. Durante o evento, Azi destacou os avanços significativos da nova legislação, que busca desburocratizar processos, garantir segurança jurídica e dar atenção especial a agricultores familiares e comunidades tradicionais. “É um marco para o turismo brasileiro”, afirmou.
Em sua fala, Lula ressaltou a importância do setor para o Brasil: “Não é possível que um país com tantas belezas naturais e um vasto potencial turístico não tivesse um ministério dedicado a isso, uma lei atualizada.” Ele destacou que a nova lei representa uma oportunidade de fortalecer tanto o turismo externo quanto o interno, contribuindo para o desenvolvimento econômico e social do país. O ministro do Turismo, Celso Sabino, também celebrou a nova legislação: “Estamos criando oportunidades que beneficiarão toda a sociedade e impulsionarão o crescimento econômico do país. O turismo é uma locomotiva do desenvolvimento e, juntos, vamos colocá-lo nos trilhos do sucesso”, afirmou.
Entre as principais inovações da nova lei está a regulamentação do uso dos recursos do Fundo Nacional de Aviação Civil (FNAC), que agora poderá financiar companhias aéreas e apoiar projetos de combustíveis de aviação renováveis. A inclusão do Mapa do Turismo Brasileiro como instrumento legal permitirá uma gestão mais eficaz e regionalizada dos recursos destinados a áreas turísticas. O presidente da Embratur, Marcelo Freixo também falou sobre a atualização. “A Lei Geral do Turismo é um avanço institucional e coloca o Brasil em sintonia com as melhores práticas
no mundo em termos de legislação no turismo. Destaco o foco na construção do turismo como atividade econômica sustentável ambientalmente e socialmente, considerando os atores e comunidades locais na formulação e execução das políticas, e estabelecendo diretrizes de apoio aos pequenos negócios. Destaco ainda a importância da utilização do Fundo Nacional da Aviação Civil numa estratégia de captação de novos voos, o que deve fortalecer o Programa de Aceleração do Turismo Internacional (PATI), executado pela Embratur. O crescimento do setor aéreo está diretamente ligado ao desenvolvimento do turismo, e a Embratur tem atuado fortemente para atrair novos voos internacionais”, afirmou.
Com a sanção da nova Lei Geral do Turismo, o governo federal reafirma seu compromisso com o desenvolvimento do setor, considerado vital para o crescimento econômico e a geração de empregos no Brasil. As expectativas são altas para que a nova legislação traga resultados significativos, beneficiando tanto os profissionais do turismo quanto os turistas que
desejam explorar as riquezas do país. No entanto, a exclusão da alteração sobre a responsabilidade solidária dos agentes de viagens em relação aos serviços intermediados gerou decepção no setor. “Todos nós tínhamos a expectativa de revisar a responsabilidade solidária do agenciamento, mas infelizmente o veto ocorreu. Contamos agora com o apoio do governo, do Ministério do Turismo e de outras entidades para construirmos uma medida provisória que regule a responsabilidade civil do agenciamento de viagens. Com essa MP, vamos preservar os direitos dos consumidores e das próprias agências de turismo. Não vamos desistir. Nossa força está na capacidade de seguir diante das adversidades. O que precisamos agora é de união. Essa luta não é da Abav. É de todo o agenciamento e do setor como um todo”, declarou Ana Carolina Medeiros, presidente da Abav Nacional. O presidente da Câmara dos Deputados, Arthur Lira, expressou satisfação com a aprovação de uma legislação tão aguardada. “É crucial que a nova Lei Geral do Turismo,
que traz inovações e perspectivas, se some a outras legislações do Executivo e do Congresso. Precisamos trabalhar juntos para fortalecer nossa estrutura turística.” Ele destacou a agenda proativa da Câmara, que se dedica a desenvolver os diversos setores do Brasil, respeitando suas particularidades regionais. “Neste segundo semestre, já anunciamos que nosso foco seria em três pautas prioritárias: energia limpa e renovável, segurança pública e, claro, turismo. Essa área entrou no centro das discussões da Câmara, dada sua importância para um Brasil tão rico e diverso”, afirmou. Arthur Lira enfatizou ainda a importância da parceria entre a Câmara dos Deputados, o Ministério do Meio Ambiente e o Congresso Nacional para destacar o turismo brasileiro no cenário mundial. “Estamos determinados a discutir formas de trazer recursos que fomentem o setor, para que a Embratur e o Ministério do Turismo possam trabalhar de forma integrada”, concluiu, expressando confiança no futuro do turismo no Brasil.

Os dois parques do grupo United Parks divulgaram novas atrações, programadas para inaugurar no próximo ano
Manuela Miniguini
Dois dos principais parques de diversões do grupo United Parks, na Flórida, o Busch Gardens e o SeaWorld, anunciaram, em 17 e 20 de setembro, respectivamente, duas novidades que serão inauguradas no próximo ano. No segundo semestre de 2025, está prevista a inauguração do Wild Oasis Realm, no Busch Gardens. Enquanto isso, o SeaWorld receberá o primeiro Teatro Voador Ártico do mundo.
WILD OASIS REALM
Localizada na área Jungala, a nova atração Wild Oasis Realm não pode ser definida com uma palavra só, mas uma coisa é certa: será uma experiência totalmente imersiva. Em meio a sons e cores de florestas tropicais, a ativação terá uma torre de queda com efeitos especiais, playground molhado e paredes de escalada para vários níveis e todas as idades. Os visitantes poderão explorar trilhas que imitam um ecossistema vibrante, onde interações educativas com a fauna local estarão presentes, proporcionando uma conexão única com a natureza.
“Faz cinco anos desde que os visitantes pisaram pela última vez no antigo Treetop Trails do Busch Gardens, e estamos entusiasmados em dar nova vida a essa área do parque com ainda mais emoção e tecnologia. O novo Wild Oasis realmente irá divertir a todos –desde os amantes de adrenalina, até os aficionados por animais, e aqueles que querem apenas aproveitar a sombra de uma floresta tropical exuberante”, afirmou Stewart Clark, presidente do Busch Gardens Tampa Bay. A área contará também com espaços para descanso e alimentação, permitindo que as famílias possam relaxar e reabastecer suas energias após as atividades.

A novidade do SeaWorld também é a primeira do mundo inteiro, visto que a atração é o primeiro Teatro Voador Ártico do planeta, prevista para inaugurar durante a primavera americana. O brinquedo consistirá em uma simulação que transportará os visitantes até a região ártica com paisagens de neve intensa, geleiras, águas cristalinas e vida animal. Durante a experiência, os visitantes
poderão observar imagens de 360 graus de animais como ursos polares e focas, tudo isso acompanhado de uma narrativa envolvente sobre a preservação do meio ambiente.
A viagem tem duração de 4 minutos e 30 segundos, e todas as pessoas com mais de 99 centímetros de altura podem participar da imersão. Além disso, todos os visitantes que possuírem o Passe Anual 2025 do SeaWorld terão acesso à atração com antece -
dência, uma ótima vantagem, já que a expectativa é que o brinquedo se torne um dos mais procurados do parque devido ao seu direcionamento familiar. A introdução dessa atração representa um passo importante para o SeaWorld, que busca cada vez mais integrar entretenimento e educação em suas ofertas, promovendo a conscientização sobre as mudanças climáticas e a importância da conservação.
A diretora de Vendas e Marketing da companhia também abordou temas polêmicos da aviação

Natália Strucchi
Marcando presença na Abav Expo 2024, a presidente-executiva do Sindicato Nacional das Empresas de Parques e Atrações Turísticas (SINDEPAT), Carol Negri, anunciou resultados promissores sobre o turismo em parques no Brasil. Ela destacou que, em 2023, os parques e atrações do país receberam mais de 120 milhões de visitantes, com a maioria sendo
brasileiros. “Esse é um levantamento que fazemos anualmente e reflete o potencial do turismo doméstico”, afirma.
Em entrevista ao M&E, Carol ressalta que, embora a maioria dos visitantes sejam nacionais, destinos como Rio de Janeiro e Foz do Iguaçu atraem um público internacional significativo. Para 2024, as expectativas são otimistas, com projeções de um crescimento de 18% na visitação.
Entretanto, a presidente destaca desafios enfrentados pelo setor, como a falta de conectividade aérea a muitas regiões turísticas. “Se o turista não consegue chegar facilmente ao destino, ele não se sentirá motivado a viajar longas distâncias de carro”, explicou. A questão da infraestrutura e o acesso aéreo são considerados pontos críticos para o crescimento do turismo em parques. Outro ponto abordado por Negri foi a importância de evitar o aumento da carga tributária sobre o setor. “Atualmente, a alíquota de tributos gira em torno de 11% a 12%. Estamos trabalhando para mantê-la na reforma tributária em tramitação no Senado, pois um aumento poderia impactar negativamente o desenvolvimento dos negócios”, alertou. Para finalizar, Carol Negri salienta que o SINDEPAT está realizando estudos em parceria com outras associações do setor para embasar suas reivindicações e mostrar a relevância do turismo para a economia nacional. “Estamos comprometidos em garantir que o setor continue a crescer e se desenvolver, contribuindo para a geração de emprego e renda no Brasil”, enfatiza.
PARQUES NATURAIS
Em agosto, o SINDEPAT lançou um Comitê de Parques Naturais. “Já temos um significativo número de parques naturais entre nossos associados e entendemos que há pautas e preocupações específicas desse segmento. Com o Comitê SINDEPAT de Parques Naturais queremos aprofundar esse debate”, continua.
OS MAIS VISITADOS
Em agosto, a Themed Entertainment Association, parceira internacional do SINDEPAT, publicou o 2023 TEA/AECOM Theme Index And Museum Index, ranking com os parques e museus mais visitados em todo o mundo. No recorte latino-americano, o Beto Carrero World é o parque mais visitado da região, entre os temáticos. No caso dos parques aquáticos, os parques brasileiros ocupam sete posições entre os dez parques mais visitados da América Latina. Aparecem na lista o Thermas dos Laranjais (SP); o Hot Park (GO); Hot Beach Olímpia (SP); Beach Park (CE); Thermas Water Park (SP) e Magic City (SP). Juntos, os dez parques aquáticos mais visitados da América Latina receberam no ano passado 11,9 milhões de visitantes.
Carla Fonseca, VP da Gol, falou com exclusividade ao M&E sobre o processo de reestruturação financeira

Janaina Brito
Em janeiro de 2024, a Gol Linhas Aéreas anunciou sua reestruturação financeira sob a proteção do Chapter 11 da Lei de Falências dos EUA. Apesar dos desafios associados a essa decisão, a empresa tem mantido operações normais e consistentes,
com um foco claro em um futuro promissor. Em entrevista ao M&E, Carla Fonseca, vice-presidente da companhia, compartilhou detalhes sobre o progresso até agora e os planos para a saída do Chapter 11.
Carla destacou que, no início do processo, a maior preocupação era a adaptação da empresa. Contudo,
olhando para trás, ela classifica o período como positivo. “Não tivemos mudanças nas rotinas, decisões e estratégias. A autonomia se manteve e, ao contrário do que muitos acreditavam, o Chapter 11 trouxe resultados positivos. Melhoramos nossa operação e seguimos crescendo”, afirmou. As negociações com os lessores foram intensas e bem-sucedidas, permitindo que a Gol continuasse a expandir suas operações.
A VP mencionou que a fase mais intensa do processo já passou e agora a companhia está focada em planejar sua saída do Chapter 11. “Estamos no caminho certo. Já vivemos nove meses desse processo. O próximo passo é o planejamento de saída”, disse. Questionada sobre uma data concreta para a saída, Fonseca explicou que a empresa se baseia no tempo médio de 18 meses que uma companhia leva nesse processo, o que pode indicar uma saída da Gol na metade de 2025.
Enquanto outras companhias aéreas enfrentaram dificuldades significativas durante o Chapter 11, a Gol conseguiu evitar especulações e desvalorização da marca. “O processo é transparente e público, mas internamente blindamos o grupo, mérito da gestão dos líderes da companhia”, explicou.
Além de manter suas operações, a Gol se destacou como a empresa mais pontual do Brasil nos últimos seis meses, com um aumento de 30% na oferta de voos internacionais em setembro e novos produtos sendo lançados mensalmente na Smiles. “Estamos acelerando nossas operações, lançando novas rotas e aprimorando nossos serviços”, afirmou Fonseca. Para apoiar esse crescimento, a companhia expandiu sua equipe comercial, com a recente nomeação de Danillo Barbizan como diretor comercial e a criação de um novo cargo focado em e-commerce. “Essa mudança traz dinamismo às vendas e à análise de mercado, essenciais para o nosso sucesso”, comentou. A evolução do canal digital é outra prioridade para a Gol, que registrou um crescimento de 13% nas vendas digitais no primeiro semestre. “Estamos investindo fortemente na digitalização, pois acreditamos que isso é essencial para nosso futuro”, concluiu Fonseca. Com um planejamento cuidadoso e um compromisso com a inovação, a Gol se prepara para um futuro promissor, reafirmando sua posição de destaque no mercado. “Daqui a um ano, acho que vamos estar em outro patamar. O futuro da Gol é consistência e evolução”, finalizou a vice-presidente.
A diretora de Vendas e Marketing da companhia também abordou temas polêmicos da aviação
Natália Strucchi
Em uma conversa franca com o M&E, Aline Mafra, diretora de Vendas e Marketing da Latam, compartilhou sua visão sobre o crescimento da companhia, as novas rotas e os desafios enfrentados no setor aéreo. Aline destacou que a Latam está vivendo um momento positivo, refletido em recordes de passageiros internacionais em Guarulhos. Segundo ela, esse crescimento não se limita apenas a esse hub, mas representa uma recuperação abrangente do mercado aéreo. A Latam opera atualmente a maior quantidade de destinos de sua história e conseguiu retomar todas as rotas internacionais que tinha antes da pandemia, incluindo uma nova rota para Los Angeles. Com 38% da capacidade do mercado doméstico, a companhia lidera tanto em termos de capacidade quanto em passageiros transportados. No cenário internacional, a Latam registrou um crescimento significativo de 20%. Aline ressaltou a importância de Guarulhos, seu maior hub, que possui 60% da oferta de voos da companhia. “São Paulo é um grande emissor de passageiros e tem uma forte demanda corporativa”, afirmou. Além disso, Aline destacou que o mercado doméstico robusto e o crescimento internacional expressivo são motivos de comemoração para a equipe da Latam.
Outro ponto que Aline abordou foi Brasília, que se tornou um dos pilares da operação da Latam no Brasil. Com mais de 50% da oferta de voos no aeroporto sendo da Latam, a diretora comentou sobre o comprometimento

da empresa com a região. Brasília otimiza as conexões entre o Norte e o Nordeste e atende a uma demanda significativa de voos governamentais e políticos. Aline mencionou um crescimento impressionante de 120% no número de passageiros internacionais que passam por Brasília, resultado da nova rota Brasília-Lima, que passou de três para cinco frequências. A inauguração da rota Brasília-Santiago deve ampliar ainda mais o alcance da Latam. Aline também falou sobre a nova rota para Noronha, que foi motivada pela qualidade da infraestrutura
do aeroporto e as adequações que estão sendo feitas. “Noronha é uma verdadeira joia do Brasil”, disse, ressaltando que a rota facilitará o acesso a um dos destinos mais icônicos do país e impulsionará o turismo local. A Latam também está expandindo sua presença em Recife com uma nova rota internacional para Santiago, alinhando-se ao compromisso de conectar o Brasil ao mundo.
Sobre o impacto do horário de verão nas operações, Aline explicou que as alterações complicam o planejamento das escalas de voos, que são feitos com meses de antecedência. Um ajuste
no horário pode causar discrepâncias nas conexões entre voos domésticos e internacionais, resultando em atrasos e complicações para os passageiros. “Isso não só prejudica a experiência do passageiro, mas também pode gerar uma série de remarcações”, alertou. Em relação à segurança a bordo, Aline declarou que a Latam apoia a implementação de regras mais claras e rigorosas para lidar com a indisciplina. Com o aumento dos casos de violência verbal e física, a segurança dos funcionários e passageiros deve ser a prioridade. “Com regras bem definidas e penalidades, poderemos manter um ambiente seguro e agradável”, afirmou.
Aline também abordou o impacto da judicialização no Brasil, afirmando que cerca de 99% das solicitações de indenização que a Latam recebe vêm do país, o que é desproporcional em relação a outros mercados. Isso se torna mais complexo quando consideramos que muitas dessas demandas estão relacionadas a eventos climáticos, além do controle da companhia. “O sistema jurídico atual desencoraja novos investimentos na aviação brasileira”, observou.
Por fim, a diretora comentou sobre a nova Lei Geral do Turismo e sua expectativa em relação a possíveis financiamentos. A Latam está otimista com os esforços do Governo Federal para expandir a aviação no Brasil, mas qualquer decisão de financiamento dependerá de uma análise cuidadosa das condições de mercado. Com um planejamento estratégico e um compromisso com a inovação, Aline se mostra confiante em um futuro promissor para a Latam no setor aéreo.
Na mesma semana em que anunciou uma nova seguradora, a GTA lançou 7 novos benefícios

Janaina Brito
No último dia 23, a GTA anunciou uma parceria estratégica com a IZA Seguradora, a primeira plataforma de seguros 100% digital aprovada pela Superintendência de Seguros Privados (Susep). Com a colaboração, que entrou em vigor no dia 28 de setembro, a GTA busca revolucionar o mercado de seguro viagem, oferecendo coberturas personalizadas e um atendimento mais ágil e eficiente.
Celso Guelfi, presidente da GTA, destacou a importância dessa transição: “Este é um dia especial para nós. Acreditamos que a modernização é essencial para acompanharmos as necessidades do consumidor moderno.” A mudança de seguradora visa melhorar a eficiência do atendimento, um aspecto crucial para a empresa que atende cerca de 75 mil passageiros diariamente. Guelfi também comentou: “Trocamos poucas vezes de seguradora, mas agora foi o momento certo
de optar por uma empresa moderna, com uma plataforma totalmente digitalizada.”
A IZA Seguradora, fundada há apenas 40 meses, se destaca por eliminar burocracias e oferecer um atendimento ágil. Gabriel de Segur, CEO da IZA, afirmou: “Estamos aqui para modernizar o setor de seguros, garantindo que as pessoas tenham acesso à proteção e à saúde de forma acessível.” Ele mencionou o crescimento da IZA, que já conta com mais de 700 mil segurados,
e ressaltou o compromisso da empresa em cuidar dos clientes. Uma das inovações da parceria é o uso de tecnologia avançada, como o monitoramento remoto de saúde via scan facial, que permite que médicos acompanhem em tempo real os sinais vitais dos passageiros. Essa ferramenta, desenvolvida em Israel, proporciona um suporte mais completo em emergências, com dados coletados diretamente dos smartphones dos usuários. Além disso, a colaboração promete aumentar a eficiência dos processos de reembolso, reduzindo o tempo de espera de até 30 dias estipulado pela Susep para apenas 28 dias. “Agradecemos à seguradora anterior, mas agora é hora de avançar e acompanhar as evoluções do mercado”, concluiu Guelfi, destacando a expectativa de aumento no faturamento com a nova parceria.
GTA LANÇA NOVOS BENEFÍCIOS Em complemento a essa modernização, a GTA está lançando um novo portfólio de benefícios que inclui maior cobertura para a Europa, seguro para pets, acesso a salas VIP em aeroportos e um serviço de concierge que fornece informações sobre eventos turísticos. “Temos nos modernizado, investido em estrutura, tecnologia e inovação para oferecer melhor atendimento aos nossos clientes. Esses benefícios visam proporcionar uma gama mais ampla de serviços aos viajantes”, afirmou Guelfi, que também reforçou o compromisso da GTA com os agentes de viagem, realizando vendas exclusivamente no modelo B2B.
Assim, a mudança de seguradora e o lançamento de novos benefícios refletem o compromisso da GTA em oferecer excelência e praticidade no atendimento, alinhando-se às demandas de um mercado cada vez mais dinâmico. A operação com a IZA promete inaugurar uma nova era de inovação e eficiência no setor de seguros de viagem no Brasil. “Mesmo com a modernização, nossos canais de distribuição continuarão sendo os agentes de viagem, operadoras e corretores, que valorizamos incondicionalmente. Eles receberão treinamento contínuo para garantir que ofereçam a solução ideal para cada cliente”, finalizou Guelfi.
novos
A empresa anunciou novidades pensando na melhoria de serviços para os clientes
A Assist Card apresentou importantes novidades, ampliando seus benefícios para os clientes. Entre elas, está a parceria com a Plaza Premium, que permitirá o acesso à sala VIP do Aeroporto RIOgaleão, aos usuários do seguro de viagem da empresa, sendo sua primeira no estado do Rio de Janeiro.
O acesso vem para somar com o já ofertado em Guarulhos para os contratantes da coberta de R$ 250 mil e R$ 1 milhão.
No Aeroporto de Guarulhos, além das duas salas VIP já disponíveis, a Assist Card também anunciou uma nova parceria com a Nomad. A partir de 1° de outubro, clientes poderão acessar a sala VIP por meio dessa colaboração, fortalecendo uma relação que já dura um ano, oferecendo uma série de benefícios integrados à plataforma da Nomad.
A empresa também retornou com o seguro de cancelamento por qualquer motivo, um produto que havia sido descontinuado durante a pandemia. Em parceria com a CVC, o seguro volta a oferecer flexibilidade

aos clientes, permitindo cancelamentos de voos sem a necessidade de justificar o motivo, com a cobrança de uma tranquia de 25% em
casos de desistência. Com essas inovações e as parcerias estratégicas firmadas com a Latam e CVC, a Assist Card projeta
um crescimento de 48% em 2024, consolidando sua posição de destaque no mercado de seguros de viagem.

Conheça um roteiro deslumbrante e diferente do tradicional no Ceará
Rafael Torres
A Rota dos Ventos é uma emocionante viagem off-road que se estende de Fortaleza a Jericoacoara, percorrendo a maior parte do trajeto sobre a areia das praias. Este itinerário revela uma beleza incomparável, passando por praias, falésias e dunas, perfeito para aqueles que buscam uma combinação de aventura, descanso e uma imersão na cultura cearense.
Vale ressaltar que a Rota dos Ventos pode ser iniciada em qualquer uma das extremidades, uma vez que as duas cidades-polo possuem aeroporto: Caucaia (Fortaleza, a 15 km) e Acaraú (Jericoacoara, a 40 km).
A nova Rota Costa dos Ventos foi lançada com o objetivo de potencializar o turismo nos municípios do Litoral Oeste cearense, reunindo os principais atrativos e equipamentos turísticos de Acaraú, Itarema, Amontada, Itapipoca, Trairi, Paraipaba, São Gonçalo do Amarante, Paracuru e Caucaia.
A partir do roteiro mais tradicional, que pode ser iniciado em qualquer ponto, Caucaia marca o início da rota, a partir da vibrante Praia do Cumbuco. Conhecida por suas extensas dunas e águas límpidas, é ideal para a prática de esportes aquáticos. Devido aos ventos fortes da região, a orla atrai turistas de todo o mundo para o kitesurf e windsurf. A cidade oferece infraestrutura moderna e um ambiente vibrante, tornando-se o local perfeito para começar a exploração das belezas do litoral. Seguindo para São Gonçalo do Amarante, os visitantes descobrirão uma cidade que mescla charme
histórico, artesanato e gastronomia. Um destaque é o Polo Gastronômico de Pajuçara, um lugarejo pacato e hospitaleiro que abriga alguns dos mais tradicionais e rústicos restaurantes da Grande Natal. Além disso, a região oferece uma ampla variedade de praias, sendo ideal para quem deseja conhecer a cultura local e relaxar nas praias mais tranquilas e menos frequentadas.
Paracuru destaca-se como um destino vibrante, ideal para os amantes do surf, com ondas perfeitas. A cidade é famosa por suas festas tradicionais e pela calorosa hospitalidade de seus moradores, proporcionando aos visitantes uma experiência rica e diversificada. Um dos grandes atrativos são os Lençóis Paracuruenses, com extensas dunas de areia branca que criam um deslumbrante “deserto” à beira-mar. Na praça do Farol, o Mirante do Pôr do Sol é o melhor ponto para apreciar esse fenômeno natural, enquanto a agitada Praia do Quebra Mar é ideal para os praticantes de esportes radicais.
Paraipaba é o local perfeito para quem busca tranquilidade e contato com a natureza. Suas praias menos frequentadas e a atmosfera relaxante tornam este lugar ideal para desconectar-se e aproveitar a paz do litoral cearense. A cidade está repleta de lindas praias, dunas e lagoas. Em julho, acontece a tradicional “Regata de Lagoinha”, atraindo turistas de todo o mundo, enquanto em outubro, os locais comemoram a festa de Santa Rita de Cássia, considerada a padroeira da cidade.
Chegando a Trairi, a localidade encanta os visitantes com suas im -

pressionantes falésias e praias preservadas. A região oferece inúmeras oportunidades para atividades ao ar livre, incluindo trilhas e passeios que revelam vistas deslumbrantes das formações rochosas e das áreas costeiras.
Itapipoca, por sua vez, mescla belezas naturais com uma rica herança cultural. As praias da cidade são perfeitas para relaxar e descobrir o litoral, enquanto o município proporciona uma perspectiva fascinante sobre a história e cultura local.
A Rota dos Ventos guarda aventuras e paisagens deslumbrantes em todas as paradas. Em Amontada, Icaraizinho de Amontada destaca-se como um verdadeiro paraíso para os amantes de esportes aquáticos, como kitesurf e windsurf. Suas praias preservadas, junto a um ambiente natural exuberante e à hospitalidade calorosa dos moradores, fazem da Praia de Moitas um local ideal para quem busca fugir da correria do dia a dia e se reconectar com a natureza.
Quase ao final da Rota dos Ventos,
na cidade de Itarema, o visitante encontra um cenário encantador, com suas longas praias e águas cristalinas, sendo uma excelente opção para quem deseja explorar um litoral mais sossegado e apreciar as belezas naturais da região. Por fim, em Acaraú, o turista desfruta de um ambiente acolhedor e praias encantadoras, proporcionando uma verdadeira imersão na vida costeira do Ceará, unindo tradições locais a belezas naturais bem preservadas.
A Rota Costa dos Ventos é uma celebração das maravilhas do litoral cearense. Cada cidade ao longo desse trajeto — Caucaia, São Gonçalo do Amarante, Paracuru, Paraipaba, Trairi, Itapipoca, Amontada, Itarema e Acaraú — oferece experiências únicas que combinam paisagens deslumbrantes, praias paradisíacas e uma rica cultura local. Esta jornada permite explorar em profundidade as belezas naturais e os encantos do litoral nordestino, garantindo momentos memoráveis e uma conexão intensa com as tradições da região.




com o aéreo e o transfer incluídos
+ 50% DE DESCONTO NA TARIFA MARÍTIMA ATÉ 30/10!

Atravesse o Atlântico e celebre os 150 anos da imigração italiana no Brasil a bordo do navio
Costa Diadema
21 noites de atividades especiais: exposições culturais, gastronomia regional, workshops, shows exclusivos e muito mais!
Embarque em Gênova no dia 30 de novembro de 2024
Desembarque em Santos no dia 21 de dezembro de 2024
Visitando Espanha, Cabo Verde, e as cidades brasileiras de Maceió, Salvador, Ilhéus, Rio de Janeiro e Itajaí


A partir de por pessoa* R$ 12x de 842,13
Saiba mais em costaextra.com.br o portal exclusivo do agente de viagem

*Valor por pessoa em cabine interna dupla com as taxas portuárias e de serviço incluídas para embarque em Gênova. O pacote inclui o aéreo São Paulo-Gênova e o transfer do aeroporto de Gênova até o terminal de cruzeiros de Gênova. Não inclui pacote de bebidas e nem seguro-viagem. Valor sujeito à alteração sem aviso prévio. Confira demais condições.



Após rumores, fundador e diretor geral da operadora revelou próximos passos da VP e confirmou saída de Alves

Janaina Brito
A ViagensPromo foi o assunto do momento durante a Abav Expo 2024, com intensos rumores e especulações sobre o futuro da empresa e principalmente sobre uma possível saída de Renato Alves, um dos fundadores da operadora. No segundo dia de feira, a presença de Cauã Reymond no estande da operadora gerou alvoroço e foi um dos atrativos do dia, mas a verdadeira conversa nos corredores girou em torno de possíveis mudanças na liderança e estratégias da empresa. A ausência de Renato Alves, ex -
-diretor de vendas e figura emblemática da ViagensPromo, chamou a atenção, levando a questionamentos sobre sua permanência na operadora. Circulavam também boatos sobre uma possível fusão ou venda da empresa para a Faturepag, parceira de longa data da VP. Rumores sobre a venda da ViagensPromo começaram a ganhar força no início do semestre, quando se cogitou uma venda para uma outra operadora forte do setor. Na época, o M&E questionou o fundador e diretor geral da empresa, Renato Kido, que revelou que propostas haviam sido feitas, mas não havia agradado o
profissional, até o momento. Durante o evento VPExperience 2024, realizado em agosto, no entanto, Alan Barros, CEO da Faturepag, deixou no ar a ideia de que a união entre as empresas poderia se intensificar. Sua declaração sobre a sinergia entre as marcas alimentou ainda mais as especulações sobre o futuro da ViagensPromo.
Em uma conversa exclusiva com o Mercado&Eventos durante a Abav, Renato Kido, fundador e diretor geral da operadora, esclareceu a situação sobre o futuro da empresa e tocou no assunto delicado da saída de Alves, que acabou sendo
confirmada no dia 1 de outubro, poucos dias após a feira. “Nunca fui de negar nada. Sobre o Alves, há conversas que estão sendo feitas e outras ainda por vir. Não batemos o martelo em nada. Estamos passando por um momento de transformação e algumas mudanças são necessárias”, afirmou Kido na ocasião. Já no dia 1 de outubro, os executivos anunciaram a decisão de Alves de deixar a empresa, de maneira mútua e respeitosa.
Kido destacou que 2024 é um ano de reestruturação, com novas contratações e uma mudança de filosofia de trabalho. “É um mercado complexo e precisamos inovar. O que estamos planejando vai chocar o setor”, adiantou.
Quando questionado sobre o papel da Faturepag nesse novo cenário, Kido afirmou: “Não estou vendendo a empresa, mas a Faturepag fará parte desse processo de uma forma diferente do que se imagina.” Ele enfatizou que a transformação está em andamento e que novidades significativas devem ser reveladas ainda este ano. Kido ressaltou a importância de pensar fora da caixa. “Nosso mercado não pode continuar como era antes. A inovação é a chave para a sobrevivência e crescimento”, disse, referindo-se também às recentes mudanças na estrutura organizacional da empresa, incluindo a chegada de Priscila Bures, diretora de Gente & Gestão, que tem trabalhado para implementar uma nova cultura entre os colaboradores. Cultura essa, que não existia, segundo o fundador. Com um olhar voltado para o futuro, a ViagensPromo está em busca de pessoas alinhadas a seu novo propósito. O foco em relacionamentos continua sendo a essência do negócio, e Kido acredita que essa é a base para alcançar os objetivos propostos. Os próximos capítulos dessa história promissora serão acompanhados de perto pelo mercado.
CVC Corp mira conquistar novas 1,5 mil agências independentes no médio prazo
CVC se reinventa para oferecer uma experiência turística integrada e inovadora

Durante a Abav Expo 2024, o CEO da CVC Corp, Fábio Godinho, e o diretor-executivo de Produtos e Pricing, Fabio Mader, discutiram o futuro da empresa, ressaltando a busca por inovações contínuas. Godinho destacou que a CVC está em um momento de recuperação, com uma capitalização de R$ 800 milhões e renegociação de R$ 200 milhões de sua dívida, resultando em um caixa positivo e aumento nas vendas. O foco da CVC está em preparar-se para os próximos 50 anos, mantendo a liderança em inovações no setor de turismo.
A CVC Corp se propõe a implementar um modelo omnichannel, que combina a experiência de compras online e offline, permitindo que os consumidores escolham como desejam comprar. Godinho anunciou que cerca de 50% das vendas já ocorrem online, utilizando tecnologia como inteligência artificial e geolocalização para direcionar
leads digitais para lojas físicas. Essa estratégia visa oferecer ao cliente a praticidade do digital aliada ao suporte do atendimento pessoal, refletindo as novas expectativas dos consumidores em relação à segurança e conveniência. O CEO também mencionou planos para inovações financeiras, como consórcios de viagem e parcelamento via PIX, visando tornar as viagens mais acessíveis. Ele observou uma tendência de agências independentes se unindo a marcas consolidadas, como a CVC, para garantir sua sobrevivência no mercado. Godinho reafirmou o compromisso da empresa em oferecer assistência ao cliente durante toda a jornada de compra e reconheceu a importância de adaptar-se às necessidades dos franqueados, com uma equipe qualificada pronta para impulsionar o crescimento da CVC. Mader, por sua vez, destacou a relevância da tecnologia na experiência do cliente, especialmente através do uso de chatbots otimizados pela experiência da empresa no setor.
Realizada no CICB, entre os dias 26 a 28 de setembro, a feira promoveu importantes debates e encontros

Entre os dias 26 a 28 de setembro, Brasília recebeu importantes figuras do turismo nacional e grandes players do trade no CICB. Uma das principais feiras de turismo do Brasil, a edição de número 51 atraiu um total de 23.439 visitantes, com um destaque especial para a participação significativa de pessoas de fora da capital federal, que representaram 50% do público.
A expectativa inicial era de reunir mais de 30 mil participantes e injetar R$30 milhões na economia local. No primeiro dia, a feira recebeu 9.835 pessoas, seguido por 9.221 no segundo dia. Como esperado, o
terceiro e último dia, embora tenha apresentado uma redução no fluxo, ainda contabilizou 4.383 visitantes.
“Brasília é um lugar que eu tenho um carinho enorme, é um lugar que traz lembranças de infância, pois nasci aqui. Agora, agregamos a experiência de realizar uma Abav Expo sob a minha gestão nesta cidade, que é muito especial. E colhemos resultados muito positivos. Já temos 50% dos estandes fechados para a próxima feira no Riocentro. E o trabalho para o sucesso da 52ª edição já começa agora”, enfatizou Ana Carolina Medeiros, presidente da Abav Nacional.
A programação trouxe mais de 60 capacitações, rodadas de negócios


com compradores nacionais e internacionais de todas as unidades federativas e de 22 países. Foram 198 estandes e quase duas mil marcas participantes, entre agências de viagens, operadoras e empresas ligadas ao setor. O evento também abriu as portas para o público em geral, no dia 28, com a entrada solidária revertida para a organização humanitária Médico sem Fronteiras.
SOLENIDADE DE ABERTURA
GANHA NOVO FORMATO NESTA EDIÇÃO
Na noite de quarta-feira (25), ocorreu a solenidade de abertura da 51ª edição da Abav Expo, marcando um novo formato para o evento.
Autoridades do setor e importantes nomes do turismo nacional e internacional prestigiaram a cerimônia, que, pela primeira vez, foi realizada um dia antes do início da feira, em vez da manhã do primeiro dia. O evento aconteceu no Centro de Convenções Ulysses Guimarães, em Brasília, dando início a programação que movimentou o setor nos dias seguintes.
Nos outros dias, o evento seguiu como de costume, com muitas reuniões, entrevistas e eventos, promovendo um networking de respeito, atualizações de mercado e muitos bons negócios. Confira o que rolou de mais importante no evento a seguir:

CONFIRA A COBERTURA COMPLETA EM NOSSO SITE:
O M&E realizou a cobertura da Abav Expo em tempo real, com entrevistas, fotos e matérias exclusivas. O estande do veículo esteve cheio nos três dias de feira, local onde amigos, parceiros e agentes de viagens foram recebidos pela equipe de jornalistas e diretoria. Além disso, milhares de revistas produzidas especialmente para a feira foram distribuídas gratuitamente ao público.
ACESSE AQUI
NOVA FERRAMENTA DA SAKURA LEVA MAIS CONTEÚDO E INFORMAÇÃO AO AGENTE DE VIAGENS
A Sakura Consolidadora desenvolve, utiliza e disponibiliza para os agentes novos sistemas NDCs de distribuição de informações e conteúdos. “Essa é a nossa função. Facilitar a vida dos agentes”, lembra o diretor Cássio Oliveira. “Esse novo sistema e grande novidade no mercado, vem fazendo toda a diferença. É uma tecnologia diferente que a Sakura já está levando para os agentes de viagens”, enfatizou o CEO da Sakura Consolidadora, Wagner Chaves.
BWT OPERADORA ANUNCIA SUA CONVENÇÃO 2025
PARA ABRIL EM FOZ DO IGUAÇU
A BWT Operadora anunciou na Abav Expo a realização da Convenção 2025, em Foz do Iguaçu (PR) com apoio da Viaje Paraná, Secretaria de Estado de Turismo e Foz do Iguaçu, que também confirmaram, definiram e assinaram o compromisso. A data mais provável é de 26 a 30 de abril, ainda a confirmar.
TREND COMUNICA NOVO MARKETPLACE DE CRÉDITO A PARTIR DE OUTUBRO
A Trend Viagens vem aprimorando sua ferramenta de serviços online para melhor assistir não só os agentes de viagens parceiros que trabalham com a operadora, mas todos os profissionais que operam com vendas e, a partir de outubro passam a contar com o novo marketplace de crédito
CIVITATIS APOSTA NO CRESCIMENTO DA MARCA NO BRASIL
A Civitatis participou da Abav Expo sobretudo para acompanhar e reforçar a equipe de colaboradores no Brasil, que nos últimos tempos vem crescendo de maneira muito rápida, em prol da personalização dos serviços no país líder de acessos à plataforma na América do Sul.
100 LIMITES EXPEDIÇÕES LANÇA NOVOS DESTINOS
PARA 2025
A 100 Limites Expedições, um dos maiores receptivos da região Norte com base em Palmas (TO), anunciou na Abav Expo o lançamento de novos produtos e destinos para 2025, além do Jalapão e Chapada das Mesas, os roteiros carros-chefes da empresa.
ENJOY TRAVEL GROUP DESEMBARCA NO BRASIL COM ESCRITÓRIO EM SÃO PAULO
O Enjoy Travel Group anunciou a abertura oficial de um escritório em São Paulo. “Estamos muito contentes porque já demos este segundo passo aqui no Brasil com a abertura oficial do escritório do Enjoy Travel Group em São Paulo”, afirmou Luis Jimenez, vice-presidente de Vendas da nova agência de viagens espanhola, que chegou ao país para conquistar o cliente brasileiro com seus destinos caribenhos e europeus.
“ESTIMAMOS UM CRESCIMENTO SUPERIOR A 10% NO NÚMERO DE NOVAS AGÊNCIAS EM 2024”, DIZ
ADRIAN URSILLI, DA MSC
Durante a Abav Expo 2024, Adrian Ursilli, diretor geral da MSC no Brasil, anunciou um aumento de 10% no número de agências que vendem MSC em comparação ao ano anterior. Ele destacou que a expectativa para a temporada de
cruzeiros 2024/2025 é positiva, com um foco em fortalecer orelacionamento com o trade e oferecer suporte aos agentes de vendas. Ursilli também mencionou iniciativas como presstrips e capacitações, além da produção de conteúdo para influenciadores. Sobre a COP30, ele expressou otimismo em contribuir com o evento, ressaltando o compromisso da MSC com a qualidade no atendimento e o apoio ao governo. A empresa está interessada em participar de discussões sobre políticas ambientais globais.
Durante a Abav Expo 2024, Giulliana Mesquita, head de produtos da operadora, apresentou o crescimento da empresa, com um aumento de 56% em vendas no último ano. Giulliana enfatizou a importância da diversificação de destinos e da interiorização do turismo, destacando o sucesso de locais como a Paraíba e Bonito. A operadora mantém 80% das vendas no mercado nacional, com Orlando sendo o principal destino internacional. A expansão das lojas é um foco da empresa, com previsão de chegar a 130 até o final do ano.
E RODOVIÁRIO: CONHEÇA OS PRÓXIMOS PRODUTOS DA SMILES
Com um ano de existência, a Smiles Viagens, operadora do grupo Gol, continua a crescer e ampliar seu portfólio. Durante a Abav Expo 2024, Rodrigo Possatto anunciou que a operadora lançará cruzeiros nacionais e internacionais até novembro, além de uma parceria para facilitar a emissão de vistos para os Estados Unidos. Em 2023, a empresa consolidou sua identidade no mercado e agora conta com mais de 1,3 mil agências cadastradas. Para 2025, o foco será na consolidação e expansão da presença no setor. A participação na feira com estande próprio visa aumentar a confiança dos agentes de viagens e diversificar ainda mais suas ofertas.
Fernando de Noronha agora conta com um Convention Bureau, criado para impulsionar o turismo na ilha e em Pernambuco, conforme anunciado durante a Abav Expo por Hayrton Almeida e Eduardo José Carneiro da Cunha Loyo. O objetivo é aumentar a visibilidade do destino e atrair mais eventos e turistas. Loyo destacou a importância das parcerias com empresários locais e operadoras de turismo, como a Azul e a Latam, que ampliaram a oferta de voos. Além disso, haverá colaboração com o Sebrae para estruturar a iniciativa e promover o destino. Hayrton enfatizou a necessidade de promover Noronha, especialmente no mercado internacional, para consolidá-lo como um grande destino turístico.
DO SETOR PARA A ECONOMIA BRASILEIRA, CELEBRA LGT E FALA DO HORÁRIO DE VERÃO
Durante a feira, Ana Carla Lopes, secretária do Ministério do Turismo (MTur), ressaltou a importância do evento para osetor e destacou iniciativas como a campanha “Conheça oBrasil”, que visa incentivar viagens internas. Ela também comentou sobre a recente aprovação da Lei Geral do Turismo, que busca fortalecer o setor como uma atividade comercial essencial. Em relação ao possível retorno do horário de verão, Lopes afirmou que o MTur está consultando diversas entidades para debater o assunto. Além disso, ela destacou a relevância da Abav em Brasília, ressaltando sua conexão estratégica com todas as capitais do país.









































O evento ofereceu oportunidade de conhecer o destino e participar de rodadas de negócios durante 4 dias

Beatriz do Vale
O Panamá se destaca como um destino em ascensão no turismo global, e o Panamá Travel Mart, realizado entre 22 e 25 de setembro de 2024, teve como foco promover essa imagem. Com a presença de profissionais de comunicação e operadoras de viagem de diversos países, o evento não apenas destacou as belezas naturais e culturais
do país, mas também incorporou o conceito de “bleisure” — uma combinação de viagens de negócios e lazer. Durante quatro dias, os participantes exploraram cidades icônicas, vivenciando experiências que vão além das reuniões corporativas.
O evento culminou em rodadas de negócios, proporcionando uma plataforma valiosa para conectar representantes do trade turístico


com opções de hotéis e atrações locais, reforçando o potencial do Panamá como um destino turístico atrativo e diversificado. Com a participação de autoridades locais, o evento enfatizou a importância de mostrar as riquezas turísticas do país, revelando um cenário promissor tanto para visitantes quanto para investidores. Entre os destaques do roteiro, a capital, Cidade do Panamá, en -
cantou os visitantes com diversas atrações imperdíveis. Um dos pontos altos foi o BIOMUSEO, dedicado à história natural do Panamá. Outra parada obrigatória foi o POIN PANAMÁ, um edifício que proporciona vistas panorâmicas de 360 graus do Centro Histórico, da Ponte das Américas, do Canal do Panamá e do horizonte da cidade. O famoso Canal do Panamá, uma via artificial de navegação com 77,1



de negócios entre fornecedores e operadoras de
quilômetros de extensão, também fez parte do percurso, sendo essencial para o comércio marítimo internacional ao encurtar a distância entre os oceanos Atlântico e Pacífico. Os visitantes ainda exploraram o Casco Antiguo, uma charmosa península que integra a lista do Patrimônio Mundial da Unesco desde 1997. O local é um centro cultural e de artesanato, repleto de casas históricas, museus, teatros, restaurantes, feiras, mercados, lojas, bares e importantes instituições, incluindo a presidência do Panamá. Na cidade de Boquete, o roteiro incluiu uma visita à fazenda Elida Estate, uma das três propriedades da família Lamastus, produtora de café desde 1918. O café Geisha, cultivado ali, é considerado o mais caro do mundo. Os participantes também desfrutaram de um tour na Rum La Solera, e uma visita à fazenda de café Lérida, encerrando com um jantar na fazenda El Oasis, o único ponto turístico situado dentro de um Parque Nacional, nas encostas do Vulcão Baru.
RODADA DE NEGÓCIOS
Cerca de 50 representantes do trade puderam ter acesso a opções de hotéis e atrações locais durante a rodada de negócios do Panamá Travel Mart, que marcou o último dia de evento, na cidade de David. Joaquin De Leon, prefeito de David, enfatizou a importância do país panamenho como potencial destino turístico.
“Para nós é uma honra poder trazer este evento para a cidade de David, porque o que queremos é integrar a oferta logística, mostrando onde está realmente o produto turístico deste país. É isso o que temos que desenvolver: as belezas e experiências que os representantes de mais de 12 países vieram conhecer. Tenho muito orgulho e estou muito emocionado por termos conseguido unir 50 vendedores com 50 compradores aqui. Sem vocês, não seria possível”, celebrou Joaquin De Leon.



A Embratur lançou uma campanha de promoção turística, visando atrair mais turistas internacionais
Ana Azevedo e Manuela Miniguini
A Feira Internacional de Turismo da América Latina (FIT) ocorreu entre os dias 28 de setembro e 1º de outubro, no La Rural, em Buenos Aires, Argentina, e alcançou números expressivos. De acordo com análise parcial feita às 13h de terça-feira (1º), o evento recebeu 131.104 visitantes, sendo 92.104 na segunda-feira (30) e 39 mil no último dia. A área da feira totalizou 38.725 m², representando um crescimento de 14% em relação a 2023. No total, participaram 1.870 expositores, dos quais 1.421 nacionais e 449 internacionais.
“Superamos os números do ano passado e temos um novo recorde. Toda essa engrenagem que é o turismo fez a diferença. Agradeço a todos, porque acho que realizamos uma feira que ficará marcada para muitos, com as grandes adições que fizemos. Mas o que realmente coroa o esforço é que, a partir de 26 de fevereiro de 2025, espero que possamos abrir uma nova feira”, afirmou Andres Deyá, presidente da FIT.
O evento contou com a participação de 53 delegações internacionais e 174 palestras, um aumento de 7% em relação à edição anterior. O Brasil foi um dos destaques, com um pavilhão de 1.594 m² e 36 expositores, incluindo Decolar e CVC Corp, que promoveram destinos como Pernambuco, Bahia, Rio de Janeiro e Santa Catarina. O Maranhão destacou os Lençóis Maranhenses, enquanto o Paraná promoveu o turismo ferroviário com a Serra Verde Express.
“A Argentina é e nunca deixará de ser o maior país emissor de turistas para o Brasil. Em 2023, 1.882.240 argentinos visitaram nosso país e, nos primeiros oito meses deste ano, 1,37 milhão já vieram. Por isso, nossa prioridade é sempre dar mais visibilidade aos nossos destinos. Ao ser país convidado, tivemos mais destaque durante a feira para atingirmos objetivos como reforçar nossa competitividade no segmento Sol e Praia, que é o principal motivador de viagens dos argentinos para o Brasil”, explicou Marcelo Freixo, em entrevista ao MERCADO & EVENTOS.
Os primeiros dias da FIT foram abertos ao público, e os últimos, voltados para profissionais do setor. O ministro do Turismo, Celso Sabino, destacou a relevância do evento para a atração de turistas estrangei-

ros: “Iniciativas como esta fazem parte de uma estratégia de promoção internacional desenvolvida pelo Ministério do Turismo, em conjunto com a Embratur, para aumentar o número de turistas estrangeiros no Brasil e alcançar, este ano, a marca histórica de 7 milhões de visitantes internacionais”, declarou.
A edição de 2024 da FIT foi 13% maior que a anterior e incluiu novos setores como FIT Cruzeiros, FIT Outdoor e uma área dedicada ao glamping e atividades em contato com a natureza. “A FIT é um lugar para se encontrar, se divertir e gerar negócios. Hoje, na Argentina, o emprego no turismo ocupa 1 milhão de pessoas, representando 11% da massa salarial”, concluiu Andres Deyá.
PANORAMA BRASIL
Durante a FIT 2024, a Embratur lançou a campanha “Visite o Brasil. É indescritível”, em parceria com o Sebrae, focada na América Latina, ressaltando as belezas naturais do Brasil. “O foco dessa campanha é atrair turistas da Argentina, do Chile, do Peru, da Colômbia e do Paraguai, que são nossos vizinhos e, historicamente, estão entre os nossos maiores emissores de turistas. Também estabelecemos parcerias com companhias aéreas para a promoção de voos conectando Brasil e Argentina e já temos novidades para o verão, como os novos voos de Buenos Aires para Porto Seguro (BA) e Curitiba (PR), de Córdoba
em direção a Florianópolis (SC) e Salvador (BA) e de Rosário em direção a Florianópolis (SC) e Rio de Janeiro (RJ)”, esclarece. Outra ação importante desenvolvida é a continuação do trabalho de capacitação do trade argentino para diversificar e atualizar os produtos turísticos brasileiros, fortalecendo a chegada de visitantes argentinos ao Brasil durante todo o ano. Esse trabalho está sendo feito de forma alinhada com os membros do Comitê Visite Brasil, com os quais nos reunimos em Buenos Aires, na véspera do início da FIT
A Embratur também dedica esforços para ampliar a conectividade aérea Brasil-Argentina, em parceria com as companhias aéreas, e os resultados são muito animadores: devemos chegar ao final deste ano atingindo a marca de 2,5 milhões de assentos nos voos entre os dois países, o que representa um aumento de 22% em relação a 2023, e um recorde histórico. “Teremos também um primeiro trimestre de 2025 recorde em número de voos e assentos em voos para o Brasil com origem na Argentina, com 13 voos diretos para 12 destinos brasileiro”, salientou.
NOVO RECORDE DE ASSENTOS ENTRE BRASIL E ARGENTINA
Durante o último dia de FIT Buenos Aires, Bruno Reis, diretor de Marketing, Negócios e Sustentabilidade da Embratur, passou
BARBADOS
Durante a FIT Buenos Aires, Corey Garret, diretor da Agência de Marketing Internacional de Barbados, destacou que a ilha oferece uma ampla gama de experiências turísticas, diferenciando-se de destinos como Aruba e Cancún. Ele enfatizou que Barbados é acessível a todos, mas atrai principalmente turistas de alto padrão devido à sua economia ligada aos Estados Unidos.
CEARÁ
Fortaleza terá uma nova frequência aérea da Gol para Buenos Aires a partir de dezembro, operando de forma sazonal até 7 de março de 2025, durante a alta temporada. Os voos ocorrerão às sextas-feiras, com retorno às terças-feiras.
INTERMAC ASSISTANCE
A Intermac Assistance registrou um crescimento de 35% no Brasil em 2023, contribuindo para um aumento global de 43% em seus
17 mercados internacionais. A empresa, com atuação na América Central e América Latina, prevê metas de crescimento de 40% no Brasil e 50% na América Latina para 2025.
PARAÍBA
A Empresa de Promoção Turística da Paraíba participa da Feira Internacional de Turismo da América (FIT) com o objetivo de promover o estado entre agentes de viagens argentinos. O foco é fortalecer o voo direto entre Buenos Aires e João Pessoa, além de estreitar relações comerciais com operadoras de turismo. Durante o evento, o estado investiu em divulgação em um canal aberto na Argentina e destacou novos projetos, como a construção de 11 mil leitos no Polo Turístico Cabo Branco. A Paraíba espera resultados positivos na alta temporada, impulsionados por esses esforços e pela competitividade no mercado argentino.
pelo estade do M&E para comentar sobre a participação do Brasil no evento como país anfitrião. Para o diretor, a empresa se sente muito satisfeita. “Eu acho que valeu super a pena, porque vemos o fluxo que conseguimos trazer para parte do pavilhão do nosso país”, explica Bruno, que complementa a informação dizendo que, ao todo, a Embratur levou consigo 35 co-expositores para o seu estande, o qual está localizado no centro do pavilhão.
O diretor comenta também que, no fluxo de visitantes durante os quatro dias de evento, nota-se um interesse pelos assentos recordes. “Os agentes de viagem e os operadores estão procurando o destino, querendo tirar informações, principalmente sobre os voos novos, como Córdoba e Rosário. Além de Buenos Aires, esses novos voos também foram anunciados ligando 12 cidades diretamente com o Brasil”, explica Bruno. Esse processo de consolidação desses assentos, de acordo com Reis, só pôde ser realizado através da estimulação do PATI (Programa de Aceleração do Turismo Internacional), e com uma parceria com o Ministério do Turismo, Portos e Aeroportos, para a utilização do FNAC, (Fundo Nacional de Aviação Civil), para também permitir que as companhias aéreas internacionais e os aeroportos brasileiros pudessem pleitear os voos de interesse e trazê-los ao Brasil.
“Essa foi uma iniciativa bastante exitosa que a gente começou dez meses atrás, e abriu muitas possibilidades de relação que não existiam, ou que a gente não estava tão bem posicionado. Então, no primeiro trimestre de 2025, a gente vai ter um recorde de assento de 820 mil assentos Argentina-Brasil, quase 50 mil assentos a mais”, afirma o diretor.
NOVAS FEIRAS, NOVOS MERCADOS
Depois dessa feira internacional, o Brasil pretende participar de outros eventos, existindo também a possibilidade de ser novamente anfitrião em algum deles. “Tem aqueles mercados em que a gente percebe uma necessidade em ter estímulo de posicionamento, enquanto em outros, o crescimento é muito orgânico. A própria ITB de Berlim, por exemplo, já está negociada até 2027”, afirma o diretor. Outra grande novidade é a participação do Brasil na ITB China no próximo ano. Bruno diz que a vontade da Embratur é “ativar o mercado chinês, possivelmente com algumas ações de relações públicas e também de participação em eventos específicos”. “Isso também ativa os nossos destinos brasileiros, DMCs e hotéis a estarem mais preparados para o mercado chinês, uma vez que é diferente do que a gente está possivelmente acostumado”, comenta.
PERNAMBUCO
Eduardo Loyo, presidente da Empetur, destacou que o objetivo da empresa em 2024 é “colocar Pernambuco de volta na prateleira”, focando em atrair mais turistas para o estado. Para isso, foram implementadas iniciativas como capacitação de operadores e criação de planos cooperados com mercados emissores de turistas, como a Argentina.
RIO GRANDE DO SUL O Secretário de Turismo do Rio Grande do Sul, Ronaldo Santini, anunciou a intenção de antecipar o retorno da Aerolíneas Argentinas para dezembro, visando recuperar o fluxo turístico no estado. Durante a Feira Internacional de Turismo (FIT), ele ressaltou que destinos como Gramado estão prontos para receber turistas, apesar da percepção negativa de insegurança.
UBATUBA
Ubatuba, com 102 praias, 614 restaurantes e mais de 200 hotéis, participa da Feira Internacional de Turismo da América (FIT) em Buenos Aires para atrair mais turistas argentinos. Andrés Duenk, vice-presidente do Ubatuba Convention & Visitor Bureau, destacou a diversidade de atrativos e o maior festival gastronômico do Brasil, que envolve mais de 73 restaurantes.
WTM LATIN AMERICA
A WTM Latin America 2025 ocorrerá de 14 a 16 de abril de 2025, com um tema focado na integração da tecnologia com o contato humano, relevante para o mercado latino-americano. Bianca Pizzolito, head da feira, informou ao MERCADO & EVENTOS que o evento será mais inteligente, com ferramentas tecnológicas utilizadas antes e após o encontro.





























LATAM - A Latam Brasil anunciou Raquel Argentino como a sua nova gerente de Sustentabilidade e Impacto Social. A executiva reporta diretamente à Maria Elisa Curcio, diretora de Assuntos Corporativos, Regulatórios e Sustentabilidade da Latam Brasil. Raquel substitui Lígia Sato, que deixou a LATAM Brasil após 14 anos de carreira na companhia.
QUICKLY TRAVEL - A Quickly Travel, braço brasileiro do Grupo JTB, anuncia a chegada de Gervásio Tanabe como Head de Viagens de Negócios, Vendas e Marketing. Com uma sólida trajetória no setor de viagens corporativas, incluindo sua atuação como presidente da Abracorp por 10 anos e mais recentemente na LTN, Tanabe traz uma vasta expertise para fortalecer a presença da Quickly Travel no mercado.
DECOLAR - A Decolar anuncia a abertura de mais de 30 vagas para áreas de Atendimento, Produtos Aéreos, Produtos em Destino, Vendas e Comercial, distribuídos em os cargos de liderança, posições administrativas e de atendimento nas lojas físicas, nos estados de Pernambuco, Rio Grande do Norte, Rio Grande do Sul, São Paulo e Distrito Federal. Os interessados encontram todos os requisitos diretamente no portal de vagas da companhia.
PALLADIUM - O Palladium Hotel Group anunciou a nomeação de Diogo Almeida Karas como o novo Executivo de Contas para a Região Sul que chega com a missão de fortalecer a presença do grupo na região, expandir parcerias estratégicas e oferecer suporte aos principais operadores e agentes de viagens.
AGENDA | PRÓXIMOS EVENTOS
CLIA - A Clia anunciou que a presidente e diretora executiva Kelly Craighead deixará o cargo no final de 2024. Em uma mensagem da associação para os membros, o presidente executivo global Jason Liberty revelou que Craighead estaria deixando seus cargos enquanto ela começa a “buscar seu próximo grande desafio”.
DIVERSA - A Diversa Turismo anunciou mais um reforço para seu time de produtos nacionais. Chega para complementar o time Paulo Teixeira, que assume o posto de Analista Sênior na operadora do Grupo Arbo.
REGENT SEVEN SEAS - A Regent Seven Seas Cruises anunciou a nomeação de Caroline Smith para o cargo de Vice-Presidente de Marketing para a América do Norte e Mercados Internacionais, com efeito imediato. Em sua nova função, Smith será responsável por desenvolver estratégias de marketing integradas que visam elevar a marca Regent em todo o mundo, adotando uma abordagem holística para o crescimento da empresa.
AVIAREPS - A Aviareps anunciou a nomeação de Frederick Overton como Diretor Global de Cargo. Ele será encarregado de supervisionar e expandir o setor, desenvolvendo os relacionamentos preexistentes com as companhias aéreas e aumentando a experiência e a divisão de cargas aéreas em todo o mundo. Há muitos anos, a Aviareps vem oferecendo serviços locais de GSA para clientes e, agora, expandirá a divisão de negócios globalmente.
Um dos maiores eventos B2B do turismo no Brasil, a BTM 2024 acontece nos dias 24 e 25 de outubro, no Centro de Eventos do Ceará, em Fortaleza. A 13ª edição vai reunir e promover a integração do setor de viagens e turismo, além de oferecer novos produtos ao mercado e aos 5 mil profissionais do turismo esperados.
O World Travel Market London (WTM) 2024 será realizado no ExCel London - Royal Victoria Dock, em Londres, entre os dias 5 e 7 de novembro. Nesta edição, como acontece todos os anos, o evento apresentará as novidades de empresas do Reino Unido e internacionais relacionadas, principalmente, aos setores de hotéis, linhas aéreas, cruzeiros, aluguel de veículos, operadores de turismo e destinos.
O Festuris Conexão Futuro acontece de 7 a 10 de novembro, no Serra Park, em Gramado (RS). Inicialmente, a expectativa da direção do Festuris era trazer 15 mil participantes, mas devido ao novo cenário logístico que as enchentes causaram, a ideia é trazer o mesmo número de participantes do ano passado: 12 mil. Pela programação ainda não totalmente encerrada, serão cerca de 400 estandes e aproximadamente 40 destinos internacionais.

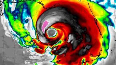
Tempestade já afeta a América Central e atingirá os EUA nos próximos dias. Alerta furacão foram emitidos para partes de Cuba e do México.



Presidente Roy Taylor Vice-Presidente Rosa Masgrau rosamasgrau@mercadoeeventos.com.br - (55-21) 2254-3543
Diretora de Redação Natália Strucchi natalia.strucchi@mercadoeeventos.com.br - (55-21) 99164-2940
Editora Janaina Brito janaina.brito@mercadoeeventos.com.br - (55-11) 98779-5732
Diretora de Vendas Mari Masgrau mari.masgrau@mercadoeeventos.com.br - (55-11) 97509-0605
Diretora Administrativa e Financeira Roberta Saavedra roberta.saavedra@mercadoeeventos.com.br - (55-21) 2487-1616
Operacional Andreia Boccalini andreia.boccalini@mercadoeeventos.com.br - (55-11) 95389-7662
Reportagem Ana Azevedo ana.azevedo@mercadoeeventos.com.br Rafael Torres rafael.torres@mercadoeeventos.com.br Bruno Renzi bruno.renzi@mercadoeeventos.com.br
Beatriz do Vale beatriz.vale@mercadoeeventos.com.br
Manuela Miniguini manuela.miniguini@mercadoeeventos.com.br
Fotografia Eric Ribeiro eric.ribeiro@mercadoeeventos.com.br
Designer Patrick Peixoto
Social Media Matheus Bueno
Reportagem SP (55-11) 97863-2020 | Reportagem RJ (55-21) 99164-2940
Atendimento ao leitor (55-11) 95389-7662
Gestão de Infraestrutura de TI WorkNet Tecnologia fernando.carilo@worknetecnologia.com.br
Gerência de Internet
Agência WA (https://waagenciadigital.com.br)
Departamento Comercial (55-11) 95389-7662
Rua 24 de Maio, 276 - 3º andar - República, São Paulo - SP, 01041-000
Representante Comercial nos Estados Unidos Juliana Costa juliana.costa@mercadoeeventos.com.br - +1 (850) 225-9376
Uma publicação da Editora Mercado e Eventos Ltda
Os artigos e opiniões de terceiros publicados na edição não necessariamente refletem a posição do jornal.

A Beaches Resorts sabe que as melhores férias são aquelas que reúnem as famílias para criar lembranças sob o sol. Divirtam-se nas praias calmas do Caribe, compartilhem risadas com seus personagens favoritos da Vila Sésamo ® e encontrem cada um seu zen no spa.
Reserve 5 noites ou mais e desfrute sem custo de um serviço de boa noite com um personagem da Vila Sésamo ® ou de uma massagem para casais no Red Lane® Spa.



PARA MAIS INFORMAÇÕES, CONSULTE SEU BDM. +1 (305) 284-1300, OP. 4, R. 6665 TAPORTAL.SANDALS.COM.BR
*Para consultar termos e condições importantes, visite beaches.com/disclaimers/8778. Beaches® é uma marca registrada. A Unique Vacations Inc. é uma afiliada da Unique Travel Corp., representante mundial do Beaches Resorts. 8778PT/0924.




Tá chegando a hora. Vem aí a Expoferr Show 2024.






















