9718 Fallen Rock Rd Conifer, CO 80433

Page 1

Property Detail Sheet

9718 Fallen Rock Rd Conifer, CO 80433

HOA

Conifer Park Estates HOA Carla Seeliger, treasurer; clseeliger@aol.com 303-475-3905

On 3/18/2024 Carla told Louis that there was a $25 annual voluntary fee that was used for a neighborhood party. The board has dissolved. Carla stays involved in filing the tax return. There are covenants of record.

Miscellaneous

Transferable warranty for roof & Andersen windows & atrium doors. Sec system is not monitored, ADT never removed the system.

New Owens Corning Duration shingle roof June 2022

New windows (except 2 bsmt windows) 2/2019 & atrium doors 9/2018.

New washer, dryer 2018

New dishwasher, disposal, microwave, range, frig 2021.

Lennox Dynamic blower high efficient with humidifier 2015.

Asphalt driveway new 2022

Radon mitigation new 5/2023.

Utilities

Internet T-mobile wireless 300 mbps. Well.

Sewer Blackwater 2,000-gallon holding tank pump every 5-6 months, about $1,000, by Search Septic, the alarm activates at 80%. Gray water 1,250 gal 2C with dosing for grey water to leach field.

Electric CORE

Propane Independent Propane.

Inclusions

7 Garage Remotes; 2 Gate Remotes; Direct TV Satellite Dish; ADT Security System (internal only; not active)

Kitchen: refrigerator; dishwasher; stove; microwave

Family Room: two lamps (one wall mounted; one table); TV mount/stand

Laundry Room: washer & dryer; wet shoe tray

Office: Bookshelves

Bedrooms: two TV wall mounts

Home Theater: Projector; Screen; Empty Equipment Rack; 4 in-wall speakers; two theater seats

Attached Garage: snow shovels; Ryobi electric snow blower.

Detached Garage: car lift; air compressor; TV and mount

Deck: firepit; hot tub.

Shed: wood from floor conversion to tile; tile for various areas; fence wire for mends; drain tubing for downspouts; pull behind yard sweeper; pull behind yard raker

Exclusions

Propane tank & propane in the tank.

1. PARTIES, PROPERTY. John B. Cox and Paula L. Cox , (Seller),

and ,

(Buyer), engage Land Title Guarantee Company , (Closing Company),

who agrees to provide closing and settlement services in connection with the Closing of the transaction

for the sale and purchase of the Property known as No.

9718 Fallen Rock Road, Conifer, CO 80433 ,

and more fully described in the Contract to Buy and Sell Real Estate, dated , including

any counterproposals and amendments (Contract). The Buyer’s lender may enter into separate closing

instructions with the Closing Company regarding the closing of the Buyer’s loan. All terms of the

Contract are incorporated herein by reference. In the event of any conflict between this Agreement and

the Contract, this Agreement controls, subject to subsequent amendments to the Contract or this

Agreement.

22 2. TITLE COMMITMENT, EXCEPTIONS AND POLICY. Closing Company Agrees Does Not

agree that: upon completion of a satisfactory title search and examination, it will furnish a Title

Insurance Commitment; and it will issue a Title Insurance Policy provided that all requirements have

been fulfilled. Closing Company Agrees Does Not agree to furnish copies of Exceptions.

26 3. INFORMATION, CLOSING, RECORDING. Closing Company is authorized to obtain any 27 information necessary for the Closing. Closing Company agrees to, deliver and record all documents 28 required or customarily recorded, and disburse all funds pursuant to the Contract that are necessary

29 to carry out the terms and conditions of the Contract.

30 4. PREPARATION OF DOCUMENTS. The Closing Company will prepare the necessary documents

31 to carry out the terms and conditions of the Contract to include:

32 4.1 Deed. If the deed required in the Contract is a special warranty deed, general warranty 33 deed, bargain and sale deed (excluding a personal representative’s or trustee’s deed) or a quit claim 34 deed, the deed will be prepared in accordance with the Contract by the Closing Company. However, if

35 the Contract requires a different form of deed (e.g.: personal representative’s deed or trustee’s deed) or

36 requires that the special warranty deed or general warranty deed list exceptions other than the

37 “statutory exceptions” as defined in §38-30-113(5)(a), C.R.S., then the Buyer or Seller must provide the

38 deed or written instructions for preparation of the deed to the Closing Company for Closing. For any

CL8-5-19. CLOSING INSTRUCTIONS Page 1 of 5 3/21/2024 4:49:39 PM

RE/MAX Alliance 30480 Stagecoach Blvd. Evergreen, CO 80439
Elizabeth
Moore, Debra
Broker Moore at RE/MAX Alliance contracts@moorefamily.properties Ph: 303-591-2075 Fax: 303-395-2233 1 The printed portions of this form, except differentiated additions, have been approved by the Colorado Real Estate Commission (CL8-5-19) (Mandatory 7-19) 2 3 THIS FORM HAS IMPORTANT LEGAL CONSEQUENCES AND THE PARTIES SHOULD CONSULT 4 LEGAL AND TAX OR OTHER COUNSEL BEFORE SIGNING. 5 6 CLOSING INSTRUCTIONS 7 8 Date: 3/11/2024 9 10
11
12
13
14
15
16
17
18
19
20
21
Louis H. Moore,
C.
K. Moore
23
24
25
CTMeContracts.com - ©2024 MRI Software LLC

39

Buyer or Seller provided deed or written instructions for preparation of the deed that requires a list of 40 exceptions other than the “statutory exceptions”, the Buyer and Seller will hold the Closing Company

harmless for any causes of action arising out of the use of such deed. The parties acknowledge that the 42 real estate broker working with either the Buyer or the Seller is not responsible for reviewing or 43 approving any deed not prepared by the real estate broker.

44 4.2 Bill of Sale. If the transaction includes the sale of personal property (i.e. within the Contract 45 or a Personal Property Agreement) from the Seller to the Buyer, Seller and Buyer authorize Closing 46 Company to prepare the bill of sale conveying the personal property from the Seller to the Buyer as

47 their scrivener. The Buyer and Seller understand that the bill of sale is a legal document and it is 48 recommended that it be reviewed and approved by their respective attorneys.

49 4.3 Closing Statement. Closing Company will prepare and deliver accurate, complete and

50 detailed closing statements to Buyer, Seller and the real estate brokers working with Buyer and Seller.

51 Closing Statements will be prepared in accordance with the Contract and written instructions from the 52 Buyer, Seller, lender or real estate brokers so long as such written instructions are not contrary to the

53 Contract. If the written instructions are contrary to the Contract, the Buyer and Seller must execute an

54 Agreement to Amend/Extend Contract.

55 5. CLOSING FEE. Closing Company will receive a fee of $ 400 for providing closing and

56 settlement services (Closing Fee).

57 6. RELEASE, DISBURSEMENT. Closing Company is not authorized to release any signed

58 documents or things of value prior to receipt and disbursement of Good Funds, except as provided in

59 §§10, 11 and 12.

60 7. DISBURSER. Closing Company must disburse all funds, including real estate commissions, 61 except those funds as may be separately disclosed in writing to Buyer and Seller by Closing Company

62 or Buyer’s lender on or before Closing. All parties agree that no one other than the disburser can

63 assure that payoff of loans and other disbursements will actually be made.

64 8. SELLER’S NET PROCEEDS. Seller will receive the net proceeds of Closing as indicated:

65 Cashier’s Check , at Seller’s expense Funds Electronically Transferred (wire transfer) to an

66 account specified by Seller, at Seller’s expense Closing Company’s trust account check.

67 9. WIRE AND OTHER FRAUDS. Wire and other frauds occur in real estate transactions. Anytime

68 Buyer or Seller is supplying confidential information, such as social security numbers, bank account

69 numbers, transferring or receiving funds, Buyer and Seller should provide the information in person or

70 in another secure manner.

71 10. FAILURE OF CLOSING. If Closing or disbursement does not occur on or before Closing Date

72 set forth in the Contract, Closing Company, except as provided herein, is authorized and agrees to

73 return all documents, monies and things of value to the depositing party, upon which Closing Company

74 will be relieved from any further duty, responsibility or liability in connection with these Closing

75 Instructions. In addition, any promissory note, deed of trust or other evidence of indebtedness signed by

76 Buyer will be voided by Closing Company, with the originals returned to Buyer and a copy to Buyer’s

77 lender.

78 11. RETURN OF EARNEST MONEY. Except as otherwise provided in §12 (Earnest Money Dispute), 79 if the Earnest Money is being held by Closing Company and has not already been returned following CL8-5-19. CLOSING INSTRUCTIONS Page 2 of 5 3/21/2024 4:49:39 PM

41
CTMeContracts.com - ©2024 MRI Software LLC

80 receipt of a Notice to Terminate or other written notice of termination, Closing Company must release

the Earnest Money as directed by written mutual instructions from the Buyer and the Seller. Such 82 release of Earnest Money must be made within five days of Closing Company’s receipt of the written 83 mutual instructions signed by both Buyer and Seller, provided the Earnest Money check has cleared.

84 12.

EARNEST MONEY DISPUTE.

In the event of any controversy regarding the Earnest Money 85 (notwithstanding any termination of the Contract), provided Closing Company is holding the Earnest 86 Money, Closing Company is not required to take any action. Closing Company, at its option and sole

subjective discretion, may: (1) await any proceeding, (2) interplead all parties and deposit Earnest 88 Money into a court of competent jurisdiction and recover court costs and reasonable attorney and legal 89 fees, or (3) provide notice to Buyer and Seller that unless Closing Company receives a copy of a 90 Summons and Complaint or Claim (between Buyer and Seller) containing the case number of the 91 lawsuit (Lawsuit) within one hundred twenty days of Closing Company’s notice to the parties, Closing 92 Company is authorized to return the Earnest Money to Buyer. In the event Closing Company does 93 receive a copy of the Lawsuit, and has not interpled the monies at the time of any Order, Closing 94 Company must disburse the Earnest Money pursuant to the Order of the Court.

95 13. SUBSEQUENT AMENDMENTS. Any amendments to, or termination of, these Closing 96 Instructions must be in writing and signed by Buyer, Seller and Closing Company.

97 14. CHANGE IN OWNERSHIP OF WATER WELL. Within sixty days after Closing, Closing Company 98 will submit any required Change in Ownership form or registration of existing well form to the Division of

Water Resources in the Department of Natural Resources (Division), with as much information as is 100 available. Closing Company is not liable for delaying Closing to ensure Buyer completes any required 101 form.

102 15. FIRPTA AND COLORADO WITHOLDING.

103 15.1 FIRPTA. Seller agrees to cooperate with Buyer and Closing Company to provide any

reasonably requested documents to determine Seller’s foreign person status. If withholding is required,

Seller authorizes Closing Company to withhold any required amount from Seller’s proceeds and remit it

to the Internal Revenue Service.

107 15.2 Colorado Withholding. Seller agrees to cooperate with Closing Company to provide any 108 reasonably requested documents to determine Seller’s status. If withholding is required under 109 Colorado law, Seller authorizes Closing Company to withhold any required amount from Seller’s 110 proceeds and remit it to the Colorado Department of Revenue.

111 16. ADDITIONAL PROVISIONS. (The following additional provisions have not been approved by the 112 Colorado Real Estate Commission.) 113

114 17. COUNTERPARTS. This document may be executed by each party, separately, and when each 115 party has executed a copy, such copies taken together are deemed to be a full and complete contract 116 between the parties.

117 18. BROKER’S COPIES. Closing Company must provide, to each real estate broker in this 118 transaction, copies of all signed documents that such real estate brokers are required to maintain 119 pursuant to the rules of the Colorado Real Estate Commission. Closing Company is authorized by both 120 Buyer and Seller to deliver their respective Closing Statement to one or both real estate brokers CL8-5-19. CLOSING INSTRUCTIONS Page 3 of 5 3/21/2024 4:49:39 PM

81
87
99
104
105
106
CTMeContracts.com - ©2024 MRI Software LLC

121 involved

122 19. NOTICE, DELIVERY AND CHOICE OF LAW.

123 19.1 Physical Delivery and Notice. Any document, or notice to another party must be in 124 writing, except as provided in §19.2 and is effective when physically received by such party.

125 19.2

Electronic Notice. As an alternative to physical delivery, any notice, may be delivered in 126 electronic form to another party at the electronic address of the recipient by facsimile, email or 127 ctm Econtracts

128 19.3

Electronic Delivery. Electronic Delivery of documents and notice may be delivered by: 129 (1) email at the email address of the recipient, (2) a link or access to a website or server, provided the 130 recipient receives the information necessary to access the documents or (3) facsimile at the facsimile 131 number (Fax No.) of the recipient.

132 19.4 Choice of Law. These Closing Instructions and all disputes arising hereunder are 133 governed by and construed in accordance with the laws of the State of Colorado that would be

134 applicable to Colorado residents who sign a contract in Colorado for real property located in Colorado.

Buyer:

Address:

Phone No.:

Fax No.:

Email Address:

Buyer: _______________________________________________________ Date:

Address:

Phone No.:

Fax No.:

Email Address:

Date: 3/17/2024

Seller: John B. Cox

Address:

Phone No.:

Fax No.:

in the transaction.
_______________
_______________________________________________________ Date:
_______________
CL8-5-19. CLOSING INSTRUCTIONS Page 4 of 5
PM CTMeContracts.com - ©2024 MRI Software LLC
3/21/2024 4:49:39

Date: 3/17/2024

Seller: Paula L. Cox

Address:

Phone No.:

Fax No.:

Email Address:

Closing Company’s Name: Land Title Guarantee Company

Date:

Authorized Signature Title:

Address: 3064 Whitman Drive, Suite 201

Evergreen, CO 80439

Phone No.: 720-544-5259

Fax No.: 303-393-3993

Email Address: dking@ltgc.com; hshort@ltgc.com; mzouski@ltgc.com CL8-5-19.

Email Address:
Software
CL8-5-19. CLOSING
CTMeContracts.com - ©2024 MRI Software LLC
CLOSING INSTRUCTIONS CTM eContracts - ©2024 MRI
LLC - All Rights Reserved
INSTRUCTIONS Page 5 of 5 3/21/2024 4:49:39 PM

RE/MAX Alliance 30480 Stagecoach Blvd. Evergreen, CO 80439

Louis H. Moore, Elizabeth C. Moore, Debra K. Moore Broker Moore at RE/MAX Alliance contracts@moorefamily.properties Ph: 303-591-2075 Fax: 303-395-2233

The printed portions of this form, except differentiated additions, have been approved by the Colorado Real Estate Commission. (SPD19-6-23) (Available 8-23, Mandatory 1-24)

SELLER'S PROPERTY DISCLOSURE (RESIDENTIAL)

THIS SELLER'S PROPERTY DISCLOSURE SHOULD BE COMPLETED BY SELLER, NOT BY BROKER.

Seller states that the information contained in this Seller's Property Disclosure ("SPD") is correct to Seller's CURRENT ACTUAL KNOWLEDGE as of this Date. Any changes must be disclosed by Seller to Buyer promptly after discovery. Seller's failure to disclose a known adverse material fact affecting the Property or occupant may result in legal liability. If the sales contract requires Seller to complete this SPD, this form must be fully completed to Seller's current actual knowledge, as of the date of the Contract. If Seller has knowledge of an adverse material fact affecting the Property or occupants, it must be disclosed whether there is a specific item on this SPD or not. If the Property is part of a Common Interest Community, this SPD is limited to the Property or unit itself, except as stated in Section O. Broker may deliver a copy of this SPD to prospective buyers.

SELLER: Your answers are NOT limited to only the space provided in this SPD. Attach additional pages, reports, receipts, or any other documents you believe necessary for the information you provide to be complete.

Note: Buyer and Seller should review the Advisory at the end of this SPD.

Date: 3/11/2024

Property:

9718 Fallen Rock Road, Conifer, CO 80433

Seller: John B. Cox and Paula L. Cox

Year Built: 2002

Year Seller Acquired Property: 2004

Note: The Contract to Buy and Sell Real Estate, not this SPD, determines whether an item is included or excluded in the sale. If there is an inconsistency between this SPD and the Contract, the Contract controls.

I. IMPROVEMENTS

A. BUILDING CONDITIONS (all aspects of the Property to include decks and patios)

If you know of any of the following problems EVER EXISTING, check the "Yes" column: Yes

1 Structural

2 Moisture and/or water

3 Damage due to termites, other insects, birds, animals, or rodents

Comments

4 Damage due to hail, wind, fire, flood, or other casualty Hail damage to roof; roof was replaced June 2022; no other conditions

5 Cracks, heaving or settling

6 Exterior wall or window French doors replaced sliders (9/19/2018); Windows replaced (2/18/2019) with exception of two basement crawl out windows; warranties are transferrable

7 Exterior Artificial Stucco (EIFS)

8 Subfloors

9 10 SPD19-6-23. SELLER'S PROPERTY DISCLOSURE (RESIDENTIAL) Page 1 of 10 3/21/2024 4:53:33 PM

CTMeContracts.com - ©2024 MRI Software LLC

B.

2

or downspout

5 Other roof problems, issues or concerns

Yes Comments
ROOF If you know of any of the following problems EVER EXISTING, check the "Yes" column:
1 Roof leak
Damage to roof Hail damage to roof; roof was replaced June 2022; no other conditions 3 Skylight 4 Gutter
6 7
ROOF - Other Information Do you know of the following on the Property:
5 year workmanship warranty
transferrable.
manufacturer`s
8 Roof under warranty until 6/27/2027 Transferable? YES NO
from installation is
as well as the shingle
warranty
Replacement
11
any
NOW
following, check the "Yes" column: Yes Age If Known Comments 1 Built-in vacuum system & accessories 2 Clothes dryer 64 mths Purchased 11/03/2018 3 Clothes washer 64 mths Purchased 11/03/2018 4 Dishwasher 34 mths Purchased May 2021 5 Disposal 35 mths Purchased April 2021 6 Freezer 7 Gas grill 8 Hood 9 Microwave oven 34 mths Purchased May 2021 10 Oven 11 Range 34 mths Purchased May 2021 12 Refrigerator 34 mths Purchased May 2021 13 T.V. antenna: Owned Leased 14 Satellite system or DSS dish: Owned Leased Direct TV Satellite Dish 15 Trash compactor 16 17
you know of any problems NOW EXISTING with the following, check the "Yes" column: Yes Age If Known Comments
Security system: Owned Leased
Smoke/fire
Hardwire SPD19-6-23.
10
PM CTMeContracts.com - ©2024 MRI Software LLC
9 Roof work done while under current roof warranty 10 Roof material: Owens Corning Duration shingles (color: Driftwood) Age:20 mths
completed 6/27/2022
C. APPLIANCES (if included in the sale) If you know of
problems
EXISTING with the
D. ELECTRICAL & TELECOMMUNICATIONS If
1
2
detectors: Battery
SELLER'S PROPERTY DISCLOSURE (RESIDENTIAL) Page 2 of
3/21/2024 4:53:33
3 Carbon Monoxide Alarm: Battery Hardwire 9 yrs Replaced battery at fall time change 4 Light fixtures 5 Switches & outlets 6 Telecommunications (T1, fiber, cable, satellite) Century Link DSL or T-Mobile or Verizon 5G 7 Inside telephone wiring & blocks/jacks 8 Ceiling fans 9 Garage door opener and remote control # of remote/openers:5 - see comment 3 garage remotes; 2 gate remotes; keypad for attached, detached, and gate 10 Intercom/doorbell 11 In-wall speakers Four in the theater room 12 13 ELECTRICAL & TELECOMMUNICATIONS If you know of any problems EVER EXISTING with the following, check the "Yes" column: 14 Electrical Service 15 Aluminum wiring at the outlets (110) 16 Solar panels: Owned Leased 17 Wind generators: Owned Leased 17 Electric Wiring or Panel 18 19 ELECTRICAL & TELECOMMUNICATIONS - Other Information: Do you know of the following on the Property: 20 220 volt service 21 Electrical Service: Amps 200 22 Landscape Lighting 23 Electrical Provider: CORE CORE PO Drawer A 5496 N Highway 85 Sedalia CO 80135-0220 24 Cable/TV provider Dish Network & Direct TV We currently only use streaming. 25 Seller's Internet Provider T-Mobile 5G Formerly used Century Link DSL 26 E. MECHANICAL If you know of any problems NOW EXISTING with the following, check the "Yes" column: Yes Age If Known Comments 1 Overhead doors (including garage doors) Detached garage installed Oct-2009 Attached garage doors replaced in May-2017 2 Entry gate system Replaced opener in early ownership; early 2000`s 3 Elevator 4 Sump pump(s): # of 5 Recycle pump 6 SPD19-6-23. SELLER'S PROPERTY DISCLOSURE (RESIDENTIAL) Page 3 of 10 3/21/2024 4:53:33 PM CTMeContracts.com - ©2024 MRI Software LLC
7 F. VENTILATION, AIR & HEAT If you know of any problems NOW EXISTING with the following, check the "Yes" column: Yes Age If Known Comments 1 Heating System 9 yeas Replaced Furnace April 2015; Lennox dynamic blower 2 Evaporative cooler 3 Window air conditioning units 4 Central air conditioning 5 Attic/whole house fan 6 Vent fans
Humidifier 9 years Whole house humidifier attached at furnace; replaced April 2015 with furnace
Air purifier
Fireplace Two: Family Room installed at original home construction (~21+ years); Basement installed by owner at a later time (unknown age) 10 Fireplace insert 11 Heating Stove 12 Fuel tanks 21 years Install by Independent Propane at original home construction; rented tank; buyer to contact IP for continued or discontinued service 13 14 VENTILATION, AIR & HEAT - Other Information: Do you know of the following on the Property: 15 Heating system (including furnace): Type Central Heat Fuel Propane Type Fuel 9 years Propane Furnace April 2015; Lennox dynamic blower 16 Fireplace: Type Fuel Propane Both are Propane: Two: Family Room installed at original home construction; Basement installed by owner at a later time 17 Heating Stove: Type Fuel
know 19 Fuel tanks: Owned Leased Install by Independent Propane at original home construction; rented tank; buyer to contact IP for continued or discontinued service 20 Radiant heating system: Interior Exterior TypeElectric; Propane Basement bathroom electrical radiant floor heating (10/21/2013) Detached garage radiant floor glycol filled hydronic heating (~Oct-2009); fuel: propane 21 Fuel Provider: Independent Propane Independent Propane 67302 US Hwy 285 at Pine Junction PO Box 300 Pine CO 80470-0300 303-838-9880 22 G. WATER If you know of any problems NOW EXISTING with the following, check the "Yes" column: Yes Age If Known Comments 1 Water heater(s) 14 years fuel type: propane; capacity 50 gallons 2 Water filter system 21 years installed with original home build 3 Water softener 21 years installed with original home build 4 Water system pump 5 Sauna 6 Hot tub or spa 16.5 years One of the three pumps does not work 7 Steam room/shower 8 Underground sprinkler system SPD19-6-23. SELLER'S PROPERTY DISCLOSURE (RESIDENTIAL) Page 4 of 10 3/21/2024 4:53:33 PM CTMeContracts.com - ©2024 MRI Software LLC
7
8
9
18 When was fireplace/wood stove, chimney/flue last cleaned: Date: Do not
9 Fire sprinkler system 10 Backflow prevention device 11 Irrigation pump 12 13 Water If
column: 14 Water system (including lines and water pressure) 14 years Replaced copper line from house to well due to a leak in ~2010 15 Well 16 Pool 17 Irrigation system 18 19 WATER - Other Information: Do you know of the following on the Property: 20 Water heater: Number of 1 Fuel type propane Capacity 50 gallons 14 years 21 Water filter system: Owned Leased 21 years installed with original home build 22 Water softener: Owned Leased 23 Master Water Shutoff Location: Basement northwest corner 24 Well metered
Well
Date
last inspection Date of last service 21 years Last inspection and service: in ~2010 when copper line from house to well was replaced 26 Galvanized pipe 27 Polybutylene pipe 28 Well PumpGPM Date: not tested since ownership; at build 2/1/2022 GPM 1.5 29 Cistern water storage gallons 30 Supplemental water purchased in past 2 years? 31 H. SOURCE OF WATER & WATER SUPPLY Do you know of the following on the Property: 1 Type of water supply: Public Community Well Shared Well Other None If
served
Well
Well
The Water Provider for the Property can be contacted at: Name: Address: Web Site: Phone No.: There is neither a Well nor a Water Provider for the Property. The source of potable water for the Property is [describe source]: SOME WATER PROVIDERS RELY, TO VARYING DEGREES, ON NONRENEWABLE GROUND WATER. YOU MAY WISH TO CONTACT YOUR PROVIDER (OR INVESTIGATE THE DESCRIBED SOURCE) TO DETERMINE THE LONG-TERM SUFFICIENCY OF THE PROVIDER'S WATER SUPPLIES. SPD19-6-23. SELLER'S PROPERTY DISCLOSURE (RESIDENTIAL) Page 5 of 10 3/21/2024 4:53:33 PM CTMeContracts.com - ©2024 MRI Software LLC
you know of any problems EVER EXISTING with the following, check the "Yes"
25
Pump:
of
the Property is
by a Well, a copy of the
Permit Is Is Not attached.
Permit #:227282 Drilling Records Are Are Not attached. Shared Well Agreement Yes No.

I. SEWER

If you know of any problems EVER EXISTING with the following, check the "Yes" column: Yes

1 Sewage system (including sewer lines) 2,000 gallon holding tank for black water

2 Lift station (sewage ejector pump) 1,250 gal 2C with dosing for grey water to leach field 3 4 SEWER - Other Information

Do you know of the following on the Property:

5 Type of sanitary sewer service: Public Community Septic System None Other

If the Property is served by an on-site septic system, provide buyer with a copy of the permit.

Type of septic system: Tank Leach Lagoon

6 Sewer service provider: Search Septic 303-838-5115

7 Sewer line scoped? Date:

8 If a septic system, date latest Individual Use Permit issued: will be issued after inspection and pumping is registered with Jefferson County

9 If a septic system, date of latest inpection: 4/16/2024

10 If a septic system, date of latest pumping: 4/17/2024

11 Gray water storage/use 1,250 gal 2C with dosing for grey water to leach field Pumped with the septic holding tank on 4/17/2024

12

J. FLOODING AND DRAINAGE

If you know of any problems EVER EXISTING with the following on the Property, check the "Yes" column:

Drainage, retention ponds

5 K. OTHER DISCLOSURES - IMPROVEMENTS

If you know of any problems NOW EXISTING with the following, check the "Yes" column: Yes Comments

1 Included fixtures and equipment Replaced interior bulbs with LED bulbs

2 Stains on carpet cleaned May 2024

3 Floors wood floors refreshed May 2024

4 Perimeter Fence with electronic gate Foothills Fence (Evergreen) 7/9/2002 Replaced gate opener early in ownership

5 Other Improvements

`Asphalt Driveway - Removed and replaced Oct-22; sealed May-23 `Tuff Shed on concrete pad installed post-initial build `Rock wall front entrance `Built-in office cabinets and custom bookshelves `Blinds installed: Dual cell shades throughout 1st & 2nd floor (light filtering and light blocking); 2" PVC blinds in basement `Foyer, kitchen, and 1/2 bath wood floors converted to tile

II. GENERAL

L. USE, ZONING & LEGAL ISSUES

If you know of any of the following EVER EXISTING, check the "Yes" column: Yes

Comments SPD19-6-23. SELLER'S PROPERTY DISCLOSURE (RESIDENTIAL) Page 6 of 10 3/21/2024 4:53:33 PM

Comments
Comments 1
2 3 DRAINAGE
Do
following
Property: Yes Comments 4
Yes
Flooding or drainage
AND RETENTION PONDS - Other Information
you know of the
on the
CTMeContracts.com - ©2024 MRI Software LLC

1 Zoning violation, variance, conditional use, violation of an enforceable PUD, or non-conforming use

2 Notice or threat of condemnation proceedings

3 Notice of any adverse conditions from any governmental or quasigovernmental agency that have not been resolved

4 Notice of zoning action related to the Property

5 Building code, city, or county violations

6 Violation of restrictive covenants or owners' association rules or regulations

7 Any building or improvements constructed within the past one year before this Date without approval by the owner's associations or the designated approving body

8 Any additions or alterations made with a Building Permit

9 Any additions or non-aesthetic alterations made without a Building Permit

10 Other legal action

11 Any part of the Property leased to others (written or oral)

12 Used for short-term rentals in the past year

If you know of any of the following EVER

1 Any access problems, issues or concerns

2 Roads, trails, paths, or driveways through the Property used by others

3 Public highway or county road bordering the Property

4 Any proposed or existing transportation project that affects or is expected to affect the Property

5 Encroachments, boundary disputes or unrecorded easements

6 Shared or common areas with adjoining properties

7 Requirements for curb, gravel/paving, landscaping

8 Any limitations on parking or access due to size, number of vehicles, or type of vehicles in the past year

Read deck refurbished and expanded in 2006 - permit #06-123169 - Detached garage construction completed 2009 - permit #2009-107642 000 00 BP

Basement bathroom build out Oct-2013 - Basement fireplace installation Aug-2007Basement theater room Feb-2017

If you know of any of the following EVER EXISTING on any part of the Property, check the "Yes" column:

1 Hazardous materials on the Property, such as radioactive, toxic, or biohazardous materials, asbestos, pesticides, herbicides, wastewater sludge, methane, mill tailings, solvents, or petroleum products

2 Underground storage tanks

3 Aboveground

5 Property used as, situated on, or adjoining a dump, landfill or municipal solid waste landfill

6 Monitoring wells or test equipment

`-
`-
13
conditions or uses `- Easement for 9738 Fallen Rock Rd Electric poll and driveway 14 15 M. ACCESS
PARKING
EXISTING
Yes Comments
Grandfathered
&
check, the "Yes" column:
9 10 N.
CONDITIONS
Yes Comments
ENVIRONMENTAL
Septic
only
System
storage tanks 500 gallon propane tank 4
transmission lines `- Electrical Power lines are underground `- Century Link DSL (Digital Subscriber Line) (800-244-1111) `- Electrical power lines from 9738 Fallen Rock Rd pole in SW corner to their house
Underground
SPD19-6-23. SELLER'S PROPERTY DISCLOSURE (RESIDENTIAL) Page 7 of 10 3/21/2024 4:53:33 PM CTMeContracts.com - ©2024 MRI Software LLC

7 Sliding, settling, upheaval, movement or instability of earth, or expansive soils on the Property

8 Mine shafts, tunnels, or abandoned wells on the Property

9 Within a governmentally designated geological hazard or sensitive area

10 Within a governmentally designated floodplain or wetland area

11 Dead, diseased, or infested trees or shrubs

12 Environmental assessments, studies, or reports done involving the physical condition of the Property

13 Used for any mining, graveling, or other natural resource extraction operations such as oil and gas wells

14 Smoking inside improvements (including garages, unfinished space, or detached buildings) on Property

15 Animals kept in the residence

16 Other environmental problems, issues or concerns

17 Odors

18 19

O. RADON

If you know of any of the following EVER EXISTING, check the "Yes" column: Yes

1 Radon test(s) conducted on the Property. Include the most recent records and reports pertaining to radon concentrations within the Property.

2 Radon concentrations detected or mitigation or remediation performed. Provide a full description.

`No smoking allowed in the house, garage, or detached garage

`Had a German Shepherd Dog in the residence for ~10 years; 2013-2023

Comments

Mitigation originally installed in Feb-2023; Radon levels still to high; Reading in July 2023: Canister Number: 146313; Location: Fin Bsmt; Radon Concentration (pCi/L): 5.19 +/0.16; Affordable Radon Svcs replaced the extraction fan and retested in August where tested levels were below the World Health Organizations recommended below 4 pCi/L.

May-2023: Canister Number: 144734; Location: Fin Bsmt; Radon Concentration (pCi/L): 6.04 +/- 0.15 Aug-2023: Canister Number: 147090; Location: Fin Bsmt; Radon Concentration (pCi/L): 3.76 +/- 0.19

3 Radon mitigation system installed on Property. Provide all information known by Seller about the radon mitigation system. `Radon reduction system installed Feb-2023

4 5 P. COMMON INTEREST COMMUNITYASSOCIATION PROPERTY

If you know of any of the following NOW EXISTING, check the "Yes" column: Yes

1 Property is part of an owners' association

Comments

Conifer Park Estates Homeowners Association; was a voluntary $25 annual fee; HOA dissolved per treasurer Mar-2024

2 Special assessments or increases in regular assessments approved by owners' association but not yet implemented No outstanding fees to-date: Mar-2024

3 Problems or defects in the Common Elements or Limited Common Elements of the Association Property COMMON INTEREST COMMUNITY - ASSOCIATION PROPERTY

If you know of any of the following EVER EXISTED, check the "Yes" column:

4 Has the Association made demand or commenced a lawsuit against a builder or contractor alleging defective construction of improvements of the Association Property (common area or property owned or controlled by the Association but outside the Seller's Property or unit)

5 6 COMMON INTEREST COMMUNITY - ASSOCIATION PROPERTYOther Information:

Name of the Owner's Associations governing the Property:

Unaware of any such actions

Contact Information

7 Owner's Association #1: HOA Treasurer Carla Seeliger, treasurer; clseeliger@aol.com

8 Owner's Association #2:

9 Owner's Association #3: SPD19-6-23. SELLER'S PROPERTY DISCLOSURE (RESIDENTIAL) Page 8 of 10 3/21/2024 4:53:33 PM

CTMeContracts.com - ©2024 MRI Software LLC

Q. GENERAL DISCLOSURES

If you know of any of the following EVER EXISTING, check the "Yes" column: Yes

1 Written reports of any building, site, roofing, soils, water, sewer, or engineering investigations or studies of the Property

Comments

2 Any property insurance claim submitted (whether paid or not) `- Two dog bite incidents - Roof hail damage

3 Structural, architectural, and engineering plans and/or specifications for any existing improvements `- Detached garage engineering plan - Deck engineering plan

4 Property was previously used as a methamphetamine laboratory and not remediated to state standards

5 Government special improvements approved, but not yet installed, that may become a lien against the Property

6 Pending: (1) litigation or (2) other dispute resolution proceeding regarding the Property

7 Property is subject to Deed Restrictions, other recorded document restrictions, or Affordable Housing Restrictions

8 Property is located in a historic district 9 10 GENERAL - Other Information:

11 Location of Mailbox and No. `North side of the driveway by the road; #9718 FALLEN ROCK RD

12

Seller and Buyer understand that the real estate brokers do not warrant or guarantee the above information on the Property. Property inspection services may be purchased and are advisable. This SPD is not intended as a substitute for an inspection of the Property.

ADVISORY TO SELLER:

Seller acknowledges that Broker will disclose to any prospective buyer all adverse material facts actually known by Broker, including but not limited to adverse material facts pertaining to the physical condition of the Property, any material defects in the Property, and any environmental hazards affecting the Property. These types of disclosures may include such matters as structural defects, soil conditions, violations of health, zoning or building laws, and nonconforming uses and zoning variances.

In the event Seller discovers a new adverse material fact after completing this SPD, Seller must disclose any such new adverse material fact to Buyer.

The information contained in this SPD has been furnished by Seller, who certifies it was answered truthfully, based on Seller's CURRENT ACTUAL KNOWLEDGE

Date: 3/21/2024

Seller: John B. Cox

Date: 3/21/2024

Seller: Paula L. Cox

ADVISORY TO BUYER:

1. Even though Seller has answered the above questions to Seller's current actual knowledge, Buyer should thoroughly SPD19-6-23. SELLER'S PROPERTY DISCLOSURE (RESIDENTIAL) Page 9 of 10 3/21/2024 4:53:33 PM

10 Owner's Association #4:
CTMeContracts.com - ©2024 MRI Software LLC

inspect the Property and obtain expert assistance to accurately and fully evaluate the Property to confirm the status of the following matters are satisfactory to Buyer:

a. the physical condition of the Property;

b. the presence of mold or other biological hazards;

c. the presence of rodents, insects and vermin including termites;

d. the legal use of the Property, including zoning and legal access to the Property;

e. the availability and source of water, sewer, and utilities;

f. the environmental and geological condition of the Property;

g. the presence of noxious weeds; and

h. any other matters that may affect Buyer's use and ownership of the Property that are important to Buyer as Buyer decides whether to purchase the Property.

2. Seller states that the information is correct to “Seller's current actual knowledge” as of the date of this form. The term “current actual knowledge” is intended to limit Seller's disclosure only to facts actually known by the Seller and does not include “constructive knowledge” or “common knowledge” or what Seller “should have known” about the Property. The Seller has no duty to investigate or inspect the Property or inclusions when this SPD is filled in and signed.

3. Valuable information may be obtained from various local/state/federal agencies, and other experts may assist Buyer by performing more specific evaluations and inspections of the Property.

4. Boundaries, location and ownership of fences, driveways, hedges, and similar features of the Property may become the subjects of a dispute between a property owner and a neighbor. A survey may be used to determine the likelihood of such problems.

5. Whether any item is included or excluded is determined by the Contract between Buyer and Seller and not this SPD.

6. Seller does not warrant that the Property or inclusions are fit for Buyer's intended purposes or use of the Property. Disclosure of the condition of an item is not to be construed as a warranty of its continued operability or as a representation or warranty that such item is fit for Buyer's intended purposes.

7. Buyer receipts for a copy of this SPD.

Buyer: _______________________________________________________ Date: _______________ Buyer: _______________________________________________________ Date: _______________ SPD19-6-23. SELLER'S PROPERTY DISCLOSURE
MRI Software
All Rights Reserved SPD19-6-23. SELLER'S PROPERTY DISCLOSURE (RESIDENTIAL) Page 10 of 10 3/21/2024 4:53:33 PM CTMeContracts.com - ©2024 MRI Software LLC
(RESIDENTIAL) CTM eContracts - ©2024
LLC -

Addendum (Addendum) is made a part of that Contract to Buy and Sell Real Estate between Seller

and Buyer dated (Contract), for the purchase and sale of the Property known as No.

discloses the following information for the source of

RE/MAX Alliance 30480 Stagecoach Blvd. Evergreen, CO 80439
H. Moore,
C. Moore,
at RE/MAX Alliance contracts@moorefamily.properties Ph: 303-591-2075 Fax: 303-395-2233 1 The printed portions of this form, except differentiated additions, have been approved by the Colorado Real Estate Commission (SWA35-8-10) (Mandatory 1-11) 2 3 THIS FORM HAS IMPORTANT LEGAL CONSEQUENCES AND THE PARTIES SHOULD CONSULT 4 LEGAL AND TAX OR OTHER COUNSEL BEFORE SIGNING. 5 6 SOURCE OF WATER ADDENDUM TO CONTRACT TO BUY AND SELL REAL ESTATE 7 8 Date: 3/11/2024 9 10 1. ADDENDUM TO
BUY
SELL REAL ESTATE.
11
12
13 9718 Fallen Rock Road, Conifer, CO 80433 14 15 2. SOURCE OF POTABLE WATER.
16 potable water for the Property: 17 18 [Select and complete 1, 2 or 3 as applicable.] 19 20 2.1 The
Well. Well
227282 21
well
22
23 24 2.2 The Water Provider for the Property can be contacted at: 25 Name: 26 Address: 27 Web Site: 28 Phone No.: 29 30 2.3 There is neither a Well
Water Provider for the Property.
water 31 for the Property is [describe source]: 32 33 NOTE TO BUYER: SOME WATER PROVIDERS RELY, TO VARYING DEGREES ON 34 NONRENEWABLE GROUND WATER. YOU MAY WISH TO CONTACT YOUR PROVIDER (OR 35 INVESTIGATE THE DESCRIBED SOURCE) TO DETERMINE THE LONG-TERM SUFFICIENCY OF 36 THE PROVIDER'S WATER SUPPLIES. 37 38 Date: 3/17/2024 Seller: John B. Cox 39 40 Date: 3/17/2024 SWA35-8-10. SOURCE OF WATERADDENDUM TO CONTRACT TO BUYAND SELL REAL ESTATE Page 1 of 2 3/21/2024 4:54:10 PM CTMeContracts.com - ©2024 MRI Software LLC
Louis
Elizabeth
Debra K. Moore Broker Moore
CONTRACT TO
AND
This Source of Water
Seller
Property's source of water is a
Permit #:
If a
is the source of water for the Property, a copy of the current Well Permit
Is Is Not attached.
nor a
The source of
Seller: Paula L. Cox 41 42 Buyer: _________________________________________________ Date: _______________ 43 44 45 Buyer: _________________________________________________ Date: _______________ 46 SWA35-8-10. SOURCE OF WATER ADDENDUM TO CONTRACT TO BUY AND SELL REAL ESTATE. CTM eContracts - ©2024 MRI Software LLC - All Rights Reserved SWA35-8-10. SOURCE OF WATERADDENDUM TO CONTRACT TO BUYAND SELL REAL ESTATE Page 2 of 2 3/21/2024 4:54:10 PM CTMeContracts.com - ©2024 MRI Software LLC

RE/MAX Alliance

30480 Stagecoach Blvd. Evergreen, CO 80439

Louis H. Moore, Elizabeth C. Moore, Debra K. Moore Broker Moore at

RE/MAX Alliance contracts@moorefamily.properties

Ph: 303-591-2075 Fax: 303-395-2233

The printed portions of this form, except differentiated additions, have been approved by the Colorado Real Estate Commission. (SF94-5-18) (Mandatory 1-19)

SQUARE FOOTAGE DISCLOSURE (Residential)

This disclosure is made to Buyer and Seller pursuant to the requirements of the Colorado Real Estate Commission and applies to improved residential real estate. Check applicable boxes below.

Property Address: 9718 Fallen Rock Road, Conifer, CO 80433

1. Licensee Measurement

Listing Licensee Has Has Not measured the square footage of the residence according to the following standard, methodology or manner:

Standard/Methodology/Manner

Exterior measurement

FHA

ANSI

Local standard

Other

2. Other Source of Measurement :

Date Measured Square Footage

Listing Licensee Is Is Not providing information on square footage of the residence from another source(s) as indicated below:

Prior appraisal (Date of document)

Building plans (Date of document)

Assessor’s office (Date obtained)

Other

03/11/2024

Measurement may not be exact and is for the purpose of marketing ONLY. Measurement is not for loan, valuation or other purposes. If exact square footage is a concern, the property should be independently measured.

Buyer and Seller are advised to verify this information. Any independent measurement or investigation should be completed by Buyer on or before any applicable deadline in the contract.

Broker:

Louis H. Moore, Elizabeth C. Moore, Debra K. Moore

The undersigned acknowledge receipt of this disclosure.

Seller: John B. Cox

Date: 3/11/2024

Date: 3/17/2024

Source of Square
Date Square Footage
Footage Information
3,234
SF94-5-18. SQUARE FOOTAGE DISCLOSURE
2
CTMeContracts.com - ©2024 MRI Software LLC
Page 1 of
3/21/2024 4:54:45 PM

Date: 3/17/2024

Seller: Paula L. Cox

Buyer:

_______________________________________________
(SF94-5-18)
MRI Software LLC
All Rights Reserved SF94-5-18.
CTMeContracts.com - ©2024 MRI Software LLC
Date: _______________
SQUARE FOOTAGE DISCLOSURE CTM eContracts - ©2024
-
SQUARE FOOTAGE DISCLOSURE Page 2 of 2 3/21/2024 4:54:45 PM

Property Address

Gas/Electric Provider

Gas Provider (if separate)

Breaker Box Location

Home Phone Provider

Internet Provider

Satellite/Cable Provider

Trash Provider

Current Trash Pick-Up Day

Current Recycling Pick-Up Day

Who Provides the Containers?

Mailbox Location and Number (if applicable)

Key Required for Mailbox?

Water Information: Location of the Main Shut-Off Valve

Location of the Sprinkler Controls

Do you have the Owner’s Manual for the Sprinkler System?

Who Has Serviced Your Sprinkler System in the Past?

Do You Have Assigned Watering Days? If so, what are They?

Pool Maintenance Servicer

Access Information: Please leave house keys, mail keys, garage door openers and pool keys/passes on your kitchen counter the day of possession. Your agent will let you know how a key is being provided to the buyer. Be prepared to provide any applicable Garage codes or alarm codes to the buyers on the day of possession.

Move Out-Move In

3.

4.

ADDITIONAL INFORMATION FOR PUMPS GREATER THAT 50 GPM: TURBINE DRIVER TYPE: ? Electric ? Engine ? Other l Design Head feet, Number of Stages Shaft size inches.

Serial No.

Readout ? Gallons,E]Thousand Gallons, ? Acre feet, ? Beginning Reading

1 have read the statements made herein and know the contents thereof, and that they are true to my knowledge Pursuant to Section 24-4104 ( 13)(a)C.R. S., the making of false statements herein constitutes perjury in the secon l degree and is punishable as a class 1 misdemeanor.]

FORM-NO. PUMP INSTALLATION AND TEST REPORT For Office use only GWS-32 10194 STATE OF COLORADO, OFFICE OF THE STATE ENGINEER
1. WELL PERMIT NUMBER MAR 0 7 2002
dP_rS
j -J ( 1? A . C STA7 ? O. City,
zip Pr1rU0.fA( b_ F ? 1 E Phone u I 3 O_ l/
2 OWNER NAME(S) _ ,
Mailin Address ({ g ?
St.
5W 1/4,Sec'--fl-Twp.5 Range J,< DISTANCES
a?! o ft.from r Sec. line. and S o ft.from UJCSr Sec. line. no or SOU cas or weswes SUBDIVISION: IC LOT BLOCK FILING(UNIT) , VILI STREET ADDRESS AT WELL LOCATION: ( ,
WELL LOCATION AS DRILLED: _ 1/4 _
FROM SEC. LINES:
PUMP DATA:Type z? t I._ b mr e_ r S 1 b e Installation Completed ? L J J. Pump Manufacturer - - Pump Model No. jDesign GPM at RPM HP_ I/? Volts 3? Q Full Load Amps i3. ) Pump Intake
Depth Feet, Drop/Column Pipe Size Inches, Kind SLh cU Fdcl
5. OTHER
Airline
ft. Monitor Tube Installed
Depth ft. Flow,Meter
Meter
6. i'
Date_ Total
Time Static Level Rate (GPM)r Date Measured Pumping Lvl. f) y J 7. DISINFECTION: Type Amt. Used l l S 8. Water Quality analysis available. ? Yes ? No 9. Remarks 4 0.
CONTRACTORI. W C S C Phone_ a 61q-,?t I I Lic.No.LL3k Mailing Address Name/rrdle
Signature Date k
EQUIPMENT:
Installed ? Yes [KfNo,Orifice Depth
? Yes ? No,
Mfg.
Meter
TEST DATA: ? Check box if Test data is submitted on Supplemental Form.
Well Depth
(Please type or print)

-2e

818 Centennial Bldg., 1313 Sherman St., Denver, Colorado 80203 303) 866. 3581

WESLEY DETMERS

2186 S HUBBARD SR Township 6 S Range 71 W Sixth P.M. MOUNTAIN GROVE, MO 65711417) 926 -5301

1) Thls well shall be used in such a way as to cause no material Injury to existing water rights. The issuance of this permit does not assure the applicant that no injury will occur to another vested water right or preclude another owner of a vested water right from seeking relief in a civil court action.

2) The construction of this well shall be in compliance with the Water Well Construction Rules 2 CCR 402 -2, unless approval of a variance has been granted by the State Hoard of Examiners of Water Well Construction and Pump Installation Contractors in accordance with Rule 18.

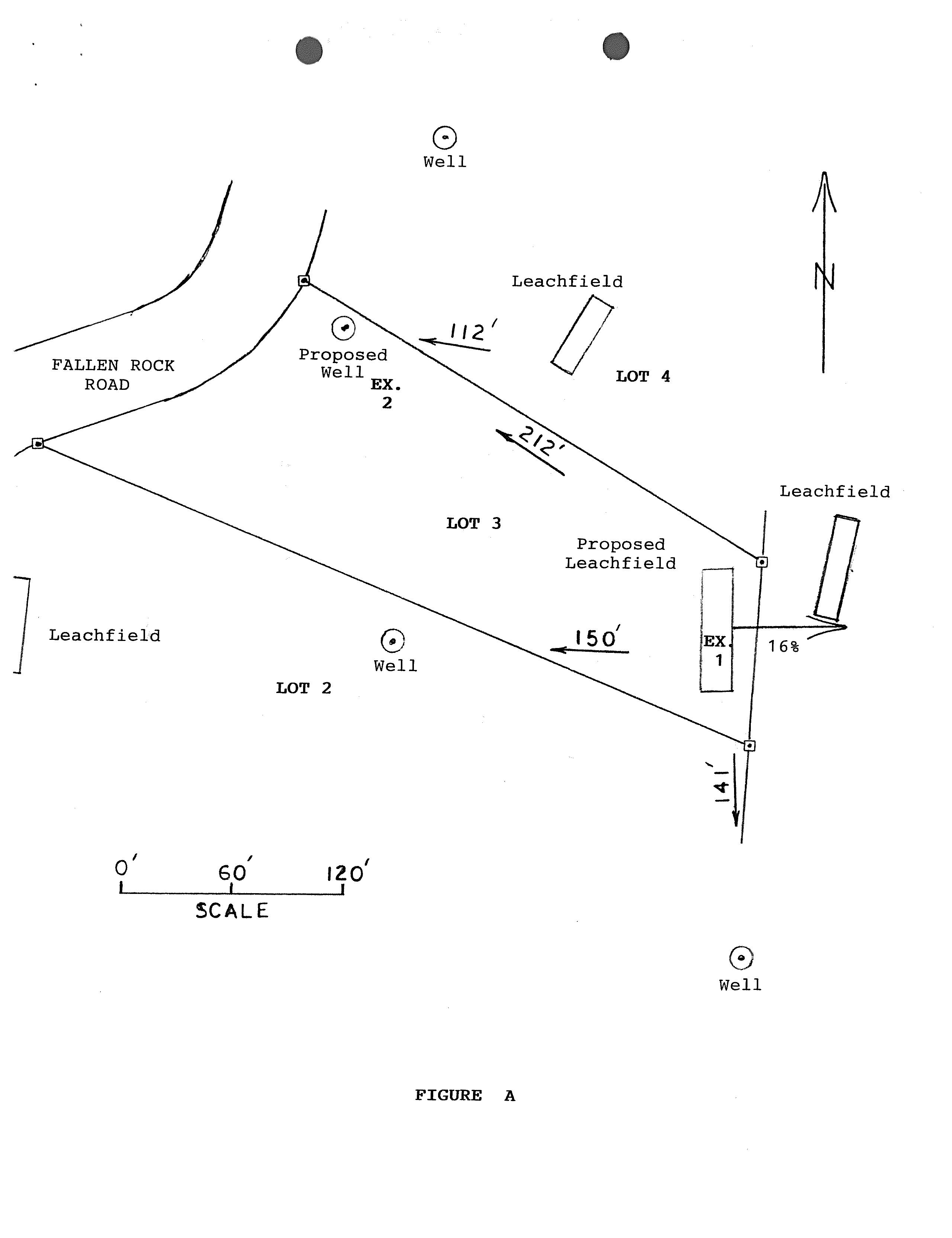
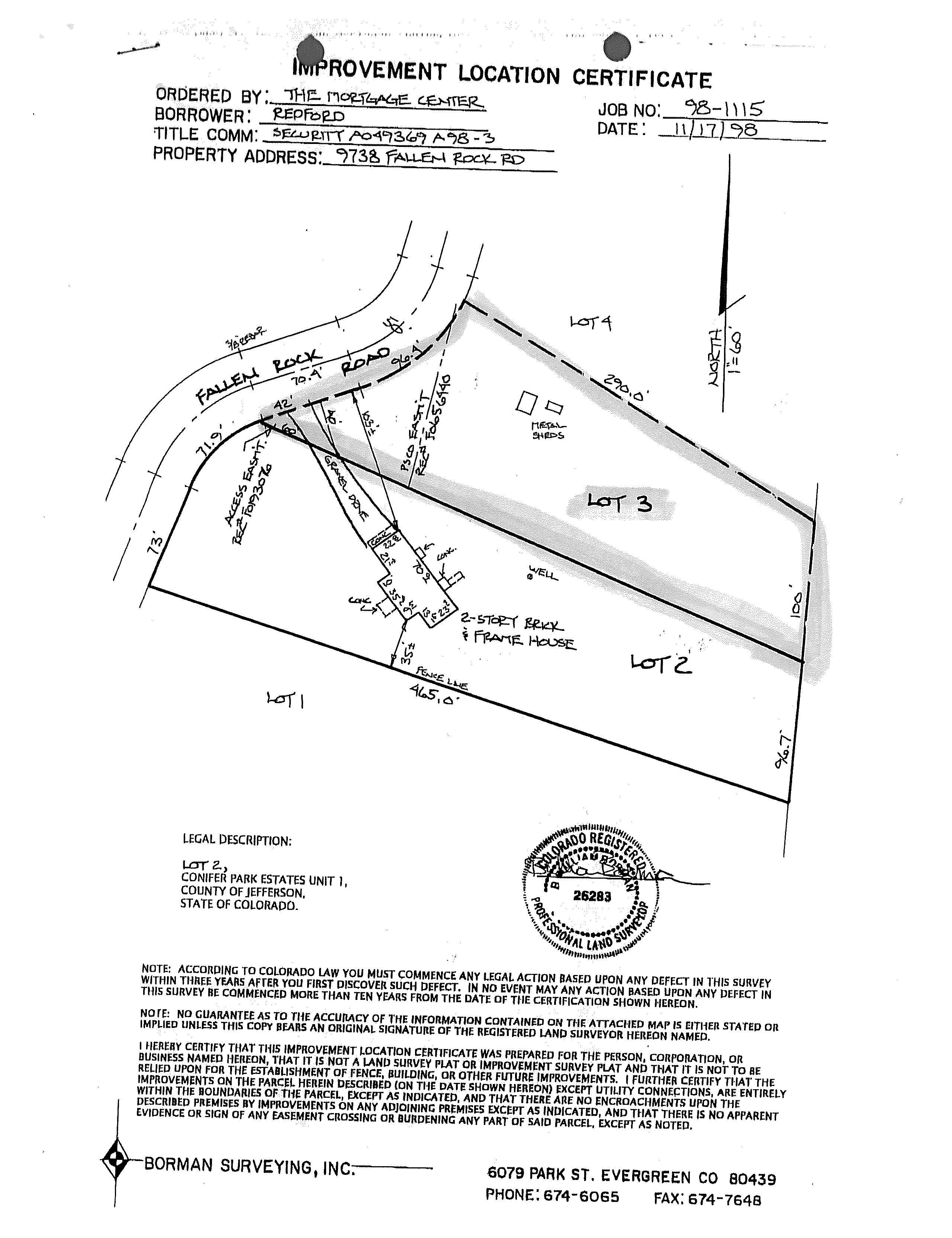
3) Approved pursuant to CRS 37-92-602(3)(b)( II)( A) as the only well on a residential site of 0.8807 acres described as lot 3, filing 1, Conifer Park Estates Subdivision, Jefferson County.

4) The use of ground water from this well Is limited to ordinary household purposes inside one single family dwelling. The ground water shall not be used for Irrigation or other purposes.

5) The maximum pumping rate of this well shall not exceed 15 GPM,

6) The return flow from the use of this well must be through an Individual waste water disposal system of the non -evaporative type where the water is returned to the same stream system In which the well is located.

7) This well shall be constructed not more than 200 feet from the location specified on this permit. Y21"1 " I i1' Ub

Form No. OFFICE OF THE STATE ENGINEER OWS
COLORADO
DIVISION OF WATER RESOURCES
227282 DES.
r-T-J-11l WELL PERMIT NUMBER U] I Rit 49ale]
BASIN MD Lot, 3 Black, Filing: 1 Subdiv: CONIFER PARK ESTATES
APPROVED WELL LOCATION JEFFERSON COUNTY
SE
SW
1/ 4
1/ 4 Section 11
I' CKMI I I U t. VNO 1 Kul. I A YYCLL
DISTANCES FROM SECTION LINES 1240 Ft. from South Section Line 2540 Ft. from West Section Line
ISSUANCE OF THIS PERMIT DOES NOT CONFER A WATER RIGHT CONDITIONS F
APPROVED __ Wd T EEM • I State Engineer JUL 17 090 By Jul 17 2802 Rareint No. 0463128 DATE ISSUED EXPIRATION DATE
COLORADO
OF WATER RESOURCES
OF NATURAL RESOURCES 1313 SHERMAN
DENVER CO
phone
info:
main:
NEW HOUSEHOLD USE ONLY Review instructions orior to comoletino form Water Well Permit Application Must be completed in back ink or tvoed 1. APPLICANT INFORMATION 6. USE OF WELL Name of applicant U)-F's 0- m e-P-4& ORDINARY HOUSEHOLD PURPOSES INSIDE ONE SINGLE FAMILY DWELLING Mailing Address 1 5 6 5 • ttt)Y'aC3 NQ OUTSIDE USA city State Zip code Y100 J tc 11 7. WELL DATA Telephone Number (Include area code) MAXIMUM PRODUCTION RATE OF THE WELL 41-1- 1.L-' 2 I WILL NOT EXCEED 15 GPM 2. TYPE OF APPLICATION 8. TYPE OF RESIDENTIAL SEWAGE SYSTEM CONSTRUCT A NEW HOUSEHOLD USE ONLY Veptic tank / absorption leach field WELL ON LESS THAN 35 ACRES Central system District name: 3. REFER TO If applicable): Vault Location sewage to be hauled to: Other (attach copy of engineering design) Monitoring hole acluim edgment # MH4. LOCATION OF WELL 9. PROPOSED WELL DRILLER (optional) County 1 quarter / quarter quarter Name License number 1/ 4 I 1/ 4 Section Townahip N or s mange E or W Pnndpal Meridian 10, SIGNATURE of applicant(s) or authorized agent 1 1 The making offalse statements herein constitutes perjury in the second degree, which is punishable as a Gass 1 misdemeanor pursuant to C. R.S. 24-4-104(13)(9). I have read Distance of wen from section lines`` nn 5_za' r.ti t t— a.—N, c] l 1 i— P ILmom N Krs Q& LIO m. from E XW the statements herein, know the contents thereof and state that th afe true tD my knowledge. well location address, If different from applicant address (If applicable) ISO.+_ l Q 2,I Must be afiginal signature vo 5. TRACT ON WHICH WELL WILL BE LOCATED A. You must check claw of the follow -n -see inshuct-wns Subdivision , Title Data 51rQ ) Lot # Block# FilingNnN#,. ce Use Only DWa Ma No. LJa or / 4-% ` TjCj(v County Exemption t wwumy. ppnv. a. y mwt rte eaedxdl S 3 5- 544 Exempt. nameW Trod # 0 Mining claim (arisenespy ndeedar survey) l7Rtiis Cxr1L I Claim name!# DIV Other attach legal description to application) i31VpICp R 4631iB Cd5irleP lr; 6] CO REGEIVL C'r c: Purchase- 0611 WD JUL 2000 BA STATE PARCEL ID# o lonao: G. # ofacresintract D. THIS WILL BE THE ONLY WELL ON THIS TRACT i;:, ^ re err..vt.cri USE MD Form G WS- 49'( 12/ 95)
DIVISION
DEPARTMENT
ST., RM. 818,
80203
-
(303) 866 -3567
(303) 866 -3581
if}r ?irr•rrraa? F Y ` 3 {. " -. ^ 7 ". ,- ' •'•
C@!!• f 1! i f: P.. v lY 3i ° 1 ii °341°' I p• li iF6t aq i 9 9 3 1; r 1. tlja•xi''li °jT1AYij iF' 1; iip;-i ' lf { i j1 i t if I' llal° Jratl :nai giaaax• j is ip 1° it' -': Iias i €= eC° Lidi Q01- c= 1 t iF 1 3e:: e3• f i• xF D xxeex• a 5xexxe i j tF i vtl atS! i Falll•_•__; = t i l"• 1•! i'• ~ z I d e€ SlilIijC Z gg t ° -. iY r 3• 08lw_ nfj;: _4til: , i •! alial! i! l3i5 gE i i { h ^ !!? If iiitl 6x ll, 1 S3y, ic°°ii 1 R eeHaYYgYxxnb: i f7 fa 5. t =• - 1 a 4• F 7 t Y; = i-Za. i, j ° -' r a . ••...` an. a.! 9.9iKYYn63ii• V 9t1 g a A y..•- — yaeasulA.: xxe's :? J§ F- l,a•° aY:' 19'7x•{- ay aaFi• P °• xxaaxxe aaaxEa i} iC x A9•7 iC Fi i i. BE;= x3€I; i, 4Es [i r b• t it Lri6 bL: xatla xafxr.+' la 7 a St aFaaFrta• Cyr it i ii iiie§ & . f.• rr; . .'•.' mi QO OP 4i G•-----. --•• F ;; f ICY i1.. sl`` _ 8 Cwt. ® F Mr. 0
lCE3fd4EE!!
OL 2,9 A 00 @11 70 Iwo Cl) I-V 31 vo z vd SY ZZ) I Av illy A Mil IT All. irr 45 Ay Ilk A Mw 3zl jsgksx A: A, CR iCkC lh 41

TO WHOK IT MAY CaNCERM;

subject Property. lead

kaoardinq to Jellazacn County Zoning Map KQ./ t/ , the abova- doseribed ptoperty is 0urraut1Y within this uniaoorparated area of Jotte;rean, County and presently zoned. A -mZ

Camlaentb:.

oo / o8/ 00 m iP FAX 803 271 8_' 44 _ _. _ 1afYco la n+nB n 1 uiue
Y Y vesilieg
above- da ri""I
resaa
y aperty is a lea nniiwina_ a i to ni11 9'J snd aaaasa cur attic* 74 erson Counry ' s4 Dope Ohio" SAVEr FAXWIND HE16 rAm town. roe/ Popnr Fe FUN
Additional
-- %& L it e6wme As
zoning an the
Further
ed to
robe 141 0 w m.`. 1 m m c a.••• ° A' m W Y W n x m b 2 {, N E WO° QQ c0 ol o b W° W W W O C F n M q m ro O a n " mi n S,D; y W G m w r+ v rox x n Y„ u M Y 5q. N E GI`\ N\ „ • W ti o o m Q ry v G. a oa\ aJ•% a y 6Ca " C 81 a w m e 9 O 04 N N m 5 e K a m m H ma , A :. m E . •. •. e o 0 > argrpninlpa ° v v O m- ro+ N m M v a v \ w m C a q. m 0 u m ca o o b C n° « M N W uo G F m V' N v o m W m ry T ++ u v a ' W T ry N w p 6 V u I- 1 p N H si H w d 0 m m a ci w a m w X m Q a w f mw o m o NN` a o n 3 W£ m W U H 9 V 6 u N N a N ry m Y n W o pqp m au o h 6CJI O w O n 2 y H 1 F O Un N O O N o u rn m m l4 [ m G m i"! F I rff+y Wy D N VI Q hl W u Q Q NI M1 N a W C ' i N M Y N b n w m

May 31, 2000.

TO WHOM IT MAY CONCERNi

Please be advised, that I / we hereby give our permission to Mary Richard% to act as our agent/ representative to attain a lot size septic variance and well permit for Lot number 3, unit 1, 9718 Fallen Rock Road in Conifer Park Estates.

Borman Surveying Inc.

6079 Park St. Evergreen, CO 80439

Phone -- 303-674 -6065 Fax - 303.674 -7648

TO WHOM IT MAY CONCERN,

BASED ON DIMENSIONS SHOWN ON THE PLAT OF RECORD, LOT 3, CONIFER PARK ESTATES UNIT I. JEFFERSON COUNTY, COLORADO, CONTAINS 0.88 ACRES, MORE OR LESS, AS CALCULATED FROM THE PLAT OF RECORD.

Sight" Survey 970812 -Z -0812 Friday, June 02, 2000 .9:30 am. Pg: 2

Registered to: BORMAN SURVEY

File Name: Untitled

Point Direction Distance Northing Easting Elevation IN S 3921' 00.0" W 100.000 6 - 162.8881 IN N 66034' 51. 3" W 409.829 1 0. 0000 Area = 38429.3542 Sq. Feet or 0.8822 Acres 376.0685 0. 000 0. 0000 0. 000

Sight" Survey 970812 -Z -0812 Friday, June 02, 2000 9:30 am. Pg: 1

Registered to: BORMAN SURVEY File Name: Untitled

Database opened: Friday, June 02, 2000 9 :23 am.

Coordinates

Point Direction Distance Northing Easting Elevation
1 0. 0000 0. 0000 0. 000 Raw: 70. 021 70.4 V.Ang: 0 °00'00.0" TR N 70002'00.0" E 70.400 2 24.0397 66. 1684 0.000 Raw: 906 118.8 V.Ang: 0000'00.0" TR N 19658'00.0" W 118.800 3 135.6988 25.6013 0.000 Raw: 461933 7 118.8 V.Ang: 0000'00.0" TR S 66027'33.0" E 118.800 4 88.2498 134.5143 0.000 Raw: 58.332 290 V.Ang: 0000'00.0" TR S 58033'00.0" E 290.000. 5 63.0589 381. 9121 0. 000 Raw: 3.21 3 100 V.Ang: 0000'00.0" TR S 3021' 00. 0" W 100.000 6 162.8881 376.0685 0.000 Raw: 67.114 410 V.Ang: 0600'00.0" TR N 67011' 00.0" W 410.000 7 3. 8967 1. 8491 0.000 IN N 25023'09.4" E 4. 313 LOT Pis k)TV G.c6E -L" TrkS D1Srk CF 1 0. 0000 0. 0000 0.000 IN S 66034'51. 3" E 409.829 6 162. 8881 376.0685 0.000 Start 1 0.0000 0. 0000 0. 000 IN N 70002'00.0" E 70.400 2 24. 0397 66. 1684 0. 000 IC To Cntr. Pt. N 19058'00.0" W 3 135.6988 25.6013 0. 000 Arc 96.400 Central Angle 46029'33.0" Chord 93.777 Chord Bearing N 46047' 13.5" E Radius 118. 800 Brig from Cntr Pt S 66027'33.0" E Tangent 51. 031 Elevation Change 0. 000 4 88.2498 134.5143 0. 000 IN S 58033'00.0" E 290.000 5 63.0589 381. 9121 0.000
were assigned for point 1. Go to
1. . ,

2 OWNER NAME(S) Wesley Detmers M city, ailing Address 21

FORM 1 c ? m? No* WELL CONSTRUCTION AND TEST REPORT STATE OF COLORADO, OFFICE OF THE STATE ENGINEER 31aSherman Denver, 1 St.,Rm 818, CO 80203 For office Use only
R?G?\ VEp
1. WELL PERMIT NUMBER 227282
Hubbard
Ito 9. 2p01 o? NCEs Ea
51ASE c?? 1 3 ?ag
71
Sec. line.
ieasrarw€Wr
LOT 3 BLOCK FILING(UNM 1
ADDRESS
WELL LOCATION: 4. GROUND SURFACE ELEVATION Unknown ft. DRILLING METHOD Air DATE COMPLETED 10-601 TOTAL DEPTH 727 ft. DEPTH COMPLETED 570 ft,
Depth Description of Material (type,Size,Color,Water Location) 0 3 Topsoil 6.HOLE DIAM. ( in.)From (ft) To (ft) 8 3/4 tl 41 6 1/8 41 727 5
18 327
i an gran te 27 368 Rose granite xx 7.PLAIN CASING 68 442 Gray & rose granite OD (in) Kind Wall Size From(ft)To(ft) 42 573 Gray granite 6 5 8 Steel 188 + 1 41 73 664 Gray & rose granite 4.5 P.V. C. .214 10 330 664 693 Rose granite xx 4.5 P.V. C. .214 370 390 93 727 Gray & rose granite 4.5 P.V. C. .214 410 510 PERF. CASING: Screen Slot Size: 032 4.5 P.V. C. .214 330 370 4.5 P.V. C. 214 390 410 4.5 P.V. C. .214 510 53 4.5 P.V. C. .214 550 57 6.FILTER PACK: 9.PACKER PLACEMENT: Material Type Rubber Size Interval Depth 90 ft 10. GROUTING RECORD: Material Amount Density Interval Placement REMARKS: cement 5 cuft. 15 # 12-41 Poured & vib t d ra e 1 DISINFECTION:Type H. T.H. Amt. Used 17 Oz. WELL TEST DATA: ? Check box if Test Data is submitted on Form No. GWS 39 Supplemental Well Test. TESTING METHOD Air Static Level 200 ft.Date/Time measured 10-601 Production Rate 11 gpm. Pumping level 570 ft.Date/Time measured 10-601 Test length (hrs.) 1 Remarks 3. have reed the statements made herein and know the contents thereof,and that they are true to my knowledge. [Pursuant to Section 24.4104 (13) ( a) C.R. S., the making of false statements herein constitutes perjury in the second degree and is punishable as a class 1 misdemeanor.] CONTRACTOR ' James Drl'lincg Company Phone 303 420-5181 Lic. No. 1134 , Mailin Address 6235 West 56th Avenue Arvada Co. 80002 Name/idle (Please type or print, Michael Keaton, President Signature / Z 1 Date 11-2001
86 South
Br St. grove, Mo. 65711
Phone ( 4117) 926-5301
3. WELL LOCATION AS DRILLED: SE 1/4 SW 1/4,Sec. 11 Twp. 6 S Range
W DISTANCES FROM SEC. LINES: 1240 ft.from South Sec. line. and 2540: ft.from West
OR n1 -
SUBDIVISION: Conifer Park Estates
STREET
AT
5. GEOLOGIC LOG:
18 Decomposed
T

Casing program for Permit 227282 under Wesley Detmers WATER

4.5"P.V. C. .214 wall from 530 ft. 550 ft.

RECEIVED NOV 2 6 2001
RESOURCES STATE ENGINEER COLO.
Plain casing:

Jeff erson C oun ty, Co lora do

Je ffer so n C o u n ty o ffe rs th i s se r vic e fo r in fo r m a tio n a l p u r po s e s o n ly fo r th e co n ve n ie n c e of th e u se r a n d a ssu m e s n o l ia b ili ty w h a tso e ve r a sso ci a te d wi th th e u s e or m is us e o f thi s d a ta . Th is d a ta i s p r o vid e d " a s is " a n d J effe r so n C o un ty d isc la im s a l l r e p re se n ta tio n s a nd w a r ra n tie s ex p re s se d o r i mp l ie d , in cl u d in g w ith o u t lim ita ti o n al l r e p re se n ta ti on s a n d w a r ra n tie s a s to th e c o m p le te n e ss, a cc u ra c y, co r re c tn e ss, m e rc h a n tab i li ty a n d fitn e ss fo r a p a rtic u la r p u r p o se o f a n y d a ta a n d an y a n d a l l w a rr a n tie s o f titl e re l ate d th e r e to

S o ur ce s : E sr i, H E RE , G a rm in , U S GS , In te r m a p , IN C R E M E NT P, N R Ca n , E s ri Ja p a n , ME TI, E sr i C h in a ( Ho n g K o n g ) , E sr i K o re a , E s ri (T h a ila n d ) , NG CC , (c ) Op e n S tre e tM a p co n tri b u to rs, a n d th e GIS U se r C om m u n ity A u tho r : A r cG IS We b A p p B u ild e r Da te : 2 /2 9 /2 0 24 0 0 0 2 5 0 0 5 mi

±
2/29/24, 9:18AM Assessor Property Records Search - Property Details https://propertysearch jeffco us/propertyrecordssearch/pin/property/details/jgdoItgRAkKAS3zW5tmPkR07qRyeFqXJwXWDbZ3j8ME1 1/3 Property Information Home / PIN/Schedule Number / Property Information Property Information Sales History PIN/Schedule 300027337 Owners COX JOHN B COX PAULA L AIN/Parcel ID 61-113-01-052 Property Address 9718 FALLEN ROCK RD CONIFER, CO 80433 Address and Political Address Information Property Class 1212 Single Family Residential Mailing Address 9718 FALLEN ROCK RD CONIFER, CO 80433   Legal Description Land SQFT Land Acres 36,895 0 847 Total 36 895 0.847 Block Lot Tract/Key Section Township Range QSection 0003 11 06 71 SW Subdivision 163800 CONIFER PARK ESTATES UNIT 1 Parcel Maps View Parcel Maps Interactive Map Aspin Interactive Map jMap CAUTION: The above legal description is incomplete and for internal purposes only DO NOT USE THE ABOVE LEGAL DESCRIPTION FOR DEEDS and other legal conveyances. Sale History Sale Amount $0 $67,500 $0 $409,300 $0 $400,000 Sale Date Deed Type Doc/Instr# 3/10/1965 Warranty Deed - Joint Tenancy 17820422 7/27/2001 Warranty Deed F1286499 8/8/2002 Quit Claim Deed F1617581 8/8/2002 Deed Error F1548943 8/8/2002 Warranty Deed - Joint Tenancy F1617582 1/21/2004 Warranty Deed - Joint Tenancy F1947892 Property Valuation FIND COMPARABLE SALES ****The 2023 payable 2024 property valuation shown for your property reects an adjustment enacted by the Legislature to reduce your property taxes Commercial properties were reduced in value by $30 000 and residential properties were reduced by $55 000. This reduction is in eect for one year only. For additional information regarding the legislative change click here **** Mass Appraisal Valuation Explanation
2/29/24, 9:18AM Assessor Property Records Search - Property Details https://propertysearch jeffco us/propertyrecordssearch/pin/property/details/jgdoItgRAkKAS3zW5tmPkR07qRyeFqXJwXWDbZ3j8ME1 2/3 Actual Land Value Actual Imp Value Actual Total Value Assessed Land Value Assessed Imp Value Assessed Total Value $170 917 $692 850 $863 767 $11 451 $46 421 $57 872 $106,137 $606,984 $713,121 $7,377 $42,185 $49,562 Tax Year Notice of Valuation 2023 payable 2024 View Notice 2022 payable 2023 Mill Levy Information Mill Levy Total Mill Levy 26 9780 12 5510 2 5390 0 0000 44 5260 86 5940 Total Mill Levy 26 9780 12 5230 2 7120 0 0000 46 1330 88 3460 Tax Year TAG Authority 2023 payable 2024 4481 COUNTY ELK CREEK FIRE DIST LAW ENFORCE AUTHORITY REGIONAL TRANSPORTATION DIST SCHOOL 2022 payable 2023 4481 COUNTY ELK CREEK FIRE DIST LAW ENFORCE AUTHORITY REGIONAL TRANSPORTATION DIST SCHOOL Treasurer Tax Information Property Inventory Neighborhood 9033 HWY 73 CORRIDOR/EVERGREEN MEADOWS Market Area 9 ResMA: Mtns Southwest Jeco Land Size 0 847 Land Use State Tax Class Unit Type Land Contributor Contributor Category Residential 1112 Acre Average Coverage Average Exposure Level to slight slope Location Factor 4 Coverage Exposure Topography Location Factor Adjustments Improvements Gross Area 2,066 Impr# Property Type Design Construction Class Quality Year Built Adj Year Remd Year Cmp% State Tax Class Select 1-1 201 Single Family 013 2 Story Frame Good 2003 2003 100% 1212 Area-SQFT 695 1 168 128 442 894 Impr# Sub-Areas 1-1 Attached Garage 1-1 Basement Total 1-1 Covered Porch 1-1 Deck 1-1 Detached Garage
2/29/24, 9:18AM Assessor Property Records Search - Property Details https://propertysearch jeffco us/propertyrecordssearch/pin/property/details/jgdoItgRAkKAS3zW5tmPkR07qRyeFqXJwXWDbZ3j8ME1 3/3 Area-SQFT 1,168 898 Impr# Sub-Areas 1-1 First Floor 1-1 Second Floor Impr# Structural Elements by Unit # Units 1-1 1/2 Bath (2 xture) 1 1-1 3/4 Bath (3 xture) 1 1-1 Bedroom (Above Grade) 3 1-1 Fireplace (Above Grade) 1 1-1 Full Bath+K+L 1 1-1 Nbr of Dwelling Units 1 Area-SQFT 934 2,066 Impr# Structural Elements by SQFT Description 1-1 Interior Finish Type Bsmt Finish W/O 2 1-1 HVAC Systems Forced Air Unit Extra Features Description State Tax Class Quality Year Built SQFT/Units Quantity Garage, Detached, Frame 1212 Good 2003 894 1 ©2024 Assessor Property Records Search – Jeerson County, CO
2/29/24, 9:19AM Treasurer Property Records Search - Property Details https://treasurerpropertysearch jeffco us/propertyrecordssearch/pin/property/details/jgdoItgRAkKAS3zW5tmPkR07qRyeFqXJwXWDbZ3j8ME1 1/2  Cart (0) Property Tax Information Home / PIN/Schedule Number / Property Tax Information THIS PAGE IS NOT A SUBSTITUTE FOR A TAX CERTIFICATE Tax Information History PIN/Schedule 300027337 Owners COX JOHN B COX PAULA L Assessor Property Information AIN/Parcel ID 61-113-01-052 Property Address 9718 FALLEN ROCK RD CONIFER, CO 80433 Address and Political Address Information Property Class 1212 Single Family Residential Mailing Address 9718 FALLEN ROCK RD CONIFER, CO 80433 2023 Payable 2024 Tax Information Pay Taxes Now Amount Please select an amount $2,505 68 $5,011 36 To pay by phone, call 866-898-2919, then input your 9 digit PIN/Schedule when prompted 1st Half Taxes (Interest not included See Below)* 2nd Half/Full Amount (Interest not included See Below)*  Add to Cart 1st Half Taxes Full Amount $2,505 68 $5,011 36 $0 00 $0 00 $0 00 $0 00 $2,505 68 $5,011 36 $0 00 $0 00 $0 00 $0 00 $0 00 $0 00 $0 00 $0 00 $0 00 $0 00 $2,505 68 $5,011 36 Original Bill Abatement Amount Paid General Due SID/SPA Billed SID/SPA Paid SID/SPA Due Interest Due Fees Due Balance Due Tax District 4481 Tax Mill Levy 86 5940
2/29/24, 9:19AM Treasurer Property Records Search - Property Details https://treasurerpropertysearch jeffco us/propertyrecordssearch/pin/property/details/jgdoItgRAkKAS3zW5tmPkR07qRyeFqXJwXWDbZ3j8ME1 2/2 Payment Information Amount $2,505 68 Date Paid Receipt Payment Type 2/28/2024 B24 14592 General Tax Payment Dates & Terms Tax Allocation Mill Levy Tax Amount 19 1660 $1,109 17 1 1690 $67 65 1 0000 $57 87 4 5000 $260 42 1 1430 $66 15 5 9060 $341 79 38 6200 $2,235 02 12 5510 $726 35 2 5390 $146 94 86 5940 $5,011 36 Tax Authority COUNTY GENERAL FUND DEPT OF SOCIAL SERVICES DEVELOPMENTAL DISABLITY FUND LIBRARY FUND ROAD & BRIDGE FUND R1 SCHOOL BOND REDEMPTION FUND R1 SCHOOL GENERAL FUND ELK CREEK FIRE DIST LAW ENFORCE AUTHORITY Total Information current as of: 02/28/2024 ©2024 Treasurer Property Records Search – Jeerson County, CO

9718 South Fallen Rock Road, Aspen Park, Conifer, Jefferson County, Colorado, United States, 80433

Gross Living Area: 2172 sq. ft

Space Area (sq. ft) Calculation Coordinate Polygon Area Algorithm using inches Below Ground (Living area) 922 -((634.3 + 634.3) * (146.4 - 243.2) + (634.3 + 793.4) * (243.2 - 243.2) + (793.4 + 793.4) * (243.2403.1) + (793.4 + 822.9) * (403.1 - 403.1) + (822.9 + 822.9) * (403.1 - 561.6) + (822.9 + 525.1) * (561.6 - 561.6) + (525.1 + 525.1) * (561.6 - 440.9) + (525.1 + 576.7) * (440.9 - 440.9) + (576.7 + 576.7) * (440.9 - 402.1) + (576.7 + 326.7) * (402.1 - 402.1) + (326.7 + 326.7) * (402.1 - 243.2) + (326.7 + 498.3) * (243.2 - 243.2) + (498.3 + 498.3)
(243.2
146.4)
(498.3
634.3)
(146.4
146.4))
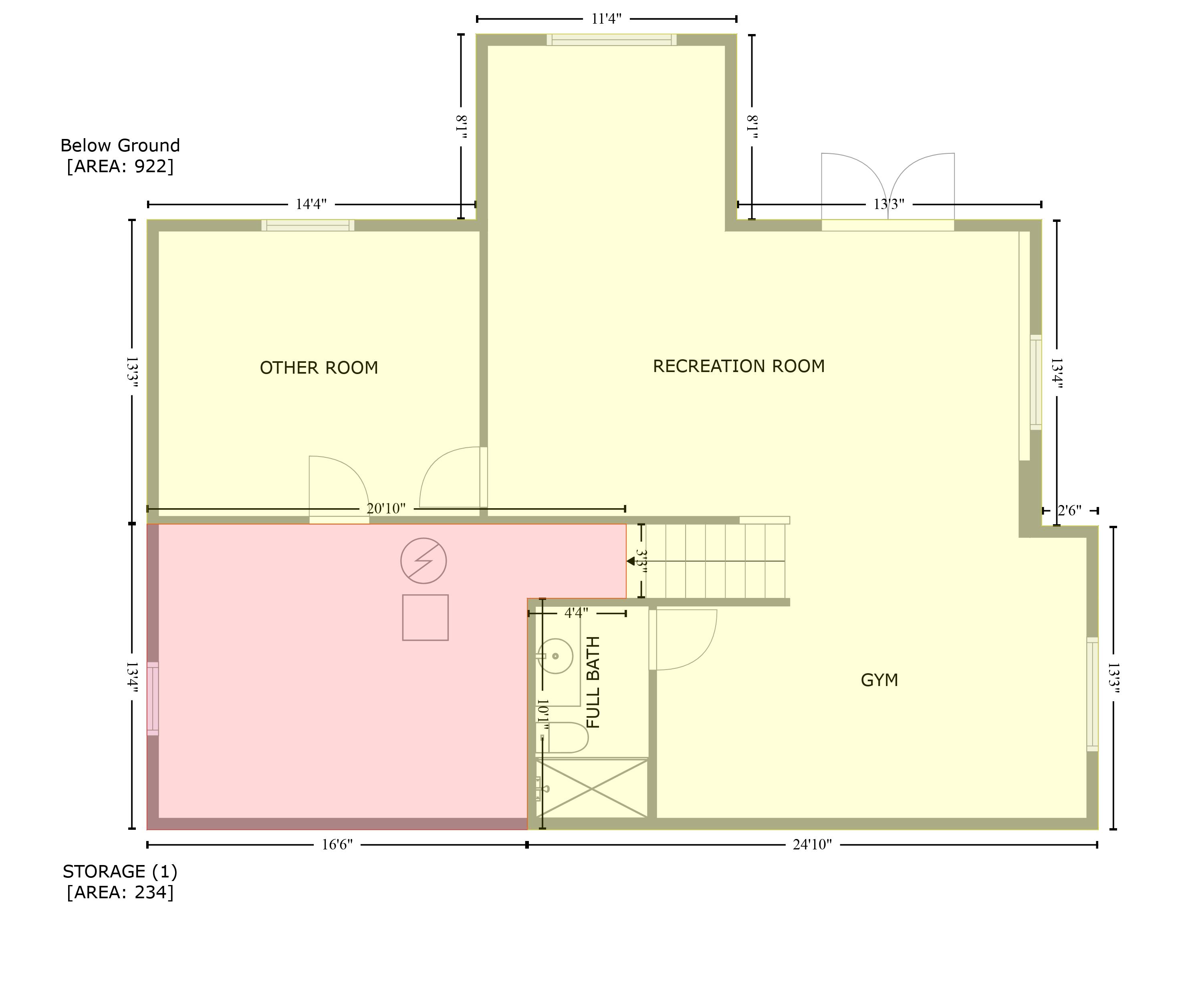
0.00694 STORAGE
234
(402.1
440.9)
(576.7
525.1)
(440.9
440.9)
(525.1
525.1)
(440.9
561.6)
(525.1
326.7)
(561.6
561.6)
(326.7
326.7)
(561.6
402.1)
(326.7
576.7) *
402.1))
*
-
+
+
*
-
* 0.5 *
(Non-living area)
-((576.7 + 576.7) *
-
+
+
*
-
+
+
*
-
+
+
*
-
+
+
*
-
+
+
(402.1 -
* 0.5 * 0.00694
Report generated on Mon, 18 Mar 2024 17:21:00 GMT. Measurements and calculations are deemed highly reliable, but not guaranteed.

9718 South Fallen Rock Road, Aspen Park, Conifer, Jefferson County, Colorado, United States, 80433

Gross Living Area: 2172 sq. ft

Space Area (sq. ft) Calculation Coordinate Polygon Area Algorithm using inches GARAGE (Non-living area) 871 -((301.3 + 301.3) * (1087.7 - 1519) + (301.3 + 10.5) * (1519 - 1519) + (10.5 + 10.5) * (15191087.7) + (10.5 + 301.3) * (1087.7 - 1087.7)) * 0.5 * 0.00694
Report generated on Mon, 18 Mar 2024 17:21:00 GMT. Measurements and calculations are deemed highly reliable, but not guaranteed.

9718 South Fallen Rock Road, Aspen Park, Conifer, Jefferson County, Colorado, United States, 80433

Gross Living Area: 2172 sq. ft

Space Area (sq. ft) Calculation Coordinate Polygon Area Algorithm using inches FLOOR 3 (Living area) 1243 -((634.3 + 634.3) * (146.4 - 243.2) + (634.3 + 793.4) * (243.2 - 243.2) + (793.4 + 793.4) * (243.2389.6) + (793.4 + 822.9) * (389.6 - 389.6) + (822.9 + 822.9) * (389.6 - 575.2) + (822.9 + 324.9) * (575.2 - 575.2) + (324.9 + 324.9) * (575.2 - 569.2) + (324.9 + 318.9) * (569.2 - 569.2) + (318.9 + 318.9) * (569.2 - 385.8) + (318.9 + 295.3) * (385.8 - 385.8) + (295.3 + 295.3) * (385.8 - 266.4) + (295.3 + 318.9) * (266.4 - 266.4) + (318.9 + 318.9) * (266.4 - 243.2) + (318.9 + 498.3) * (243.2243.2) + (498.3 + 498.3) * (243.2 - 146.4) + (498.3 + 634.3) * (146.4 - 146.4)) * 0.5 * 0.00694
Report generated on Mon, 18 Mar 2024 17:21:00 GMT. Measurements and calculations are deemed highly reliable, but not guaranteed.

9718 South Fallen Rock Road, Aspen Park, Conifer, Jefferson County, Colorado, United States, 80433

Gross Living Area: 2172 sq. ft

PORCH (Non-living area)

GARAGE (Non-living area)

* (243.2 - 97.5) + (322.9 + 477.2) * (97.5 - 97.5) + (477.2 + 496.3) * (97.5 - 74.7) + (496.3 + 496.3) * (74.7 - 37.5) + (496.3 + 527.8) * (37.5 - 0.1) + (527.8 + 601.4) * (0.1 - 0.1)) * 0.5 * 0.00694

119 -((818.9 + 818.9) * (575.2 - 668.2) + (818.9 + 634.3) * (668.2 - 668.2) + (634.3 + 634.3) * (668.2575.2) + (634.3 + 818.9) * (575.2 - 575.2)) * 0.5 * 0.00694

Space Area (sq. ft) Calculation Coordinate Polygon Area Algorithm using inches DECK (Non-living area) 487 -((601.4
630.6) * (0.1
34.8) + (630.6 + 630.6) * (34.8 - 73.3) + (630.6 + 649.4) * (73.3 - 95.7) + (649.4
794.1) * (95.7
95.7) + (794.1 + 793.4) * (95.7 - 200.6) + (793.4 + 840.5) * (200.6200.6)
(840.5 + 840.5) * (200.6 - 243.2) + (840.5 + 634.3) * (243.2 - 243.2) + (634.3 + 634.3) * (243.2
146.4) + (634.3 + 498.3) * (146.4 - 146.4) + (498.3 + 498.3) * (146.4 - 243.2) + (498.3 + 322.9) * (243.2
243.2) + (322.9
322.9)
+
-
+
-
+
-
-
+
631 -((324.9 + 324.9) * (569.2 - 575.2) + (324.9 + 634.3) * (575.2 - 575.2) + (634.3 + 634.3) * (575.2825.9) + (634.3 + 522.6) * (825.9 - 825.9) + (522.6 + 522.6) * (825.9 - 836.7) + (522.6 + 283) * (836.7 - 836.7) + (283 + 283) * (836.7 - 569.2) + (283 + 324.9) * (569.2 - 569.2)) * 0.5 * 0.00694
Report
GMT. Measurements and calculations are deemed highly reliable, but not guaranteed.
generated on Mon, 18 Mar 2024 17:21:00

9718 South Fallen Rock Road, Aspen Park, Conifer, Jefferson County, Colorado, United States, 80433

Gross Living Area: 2172 sq. ft

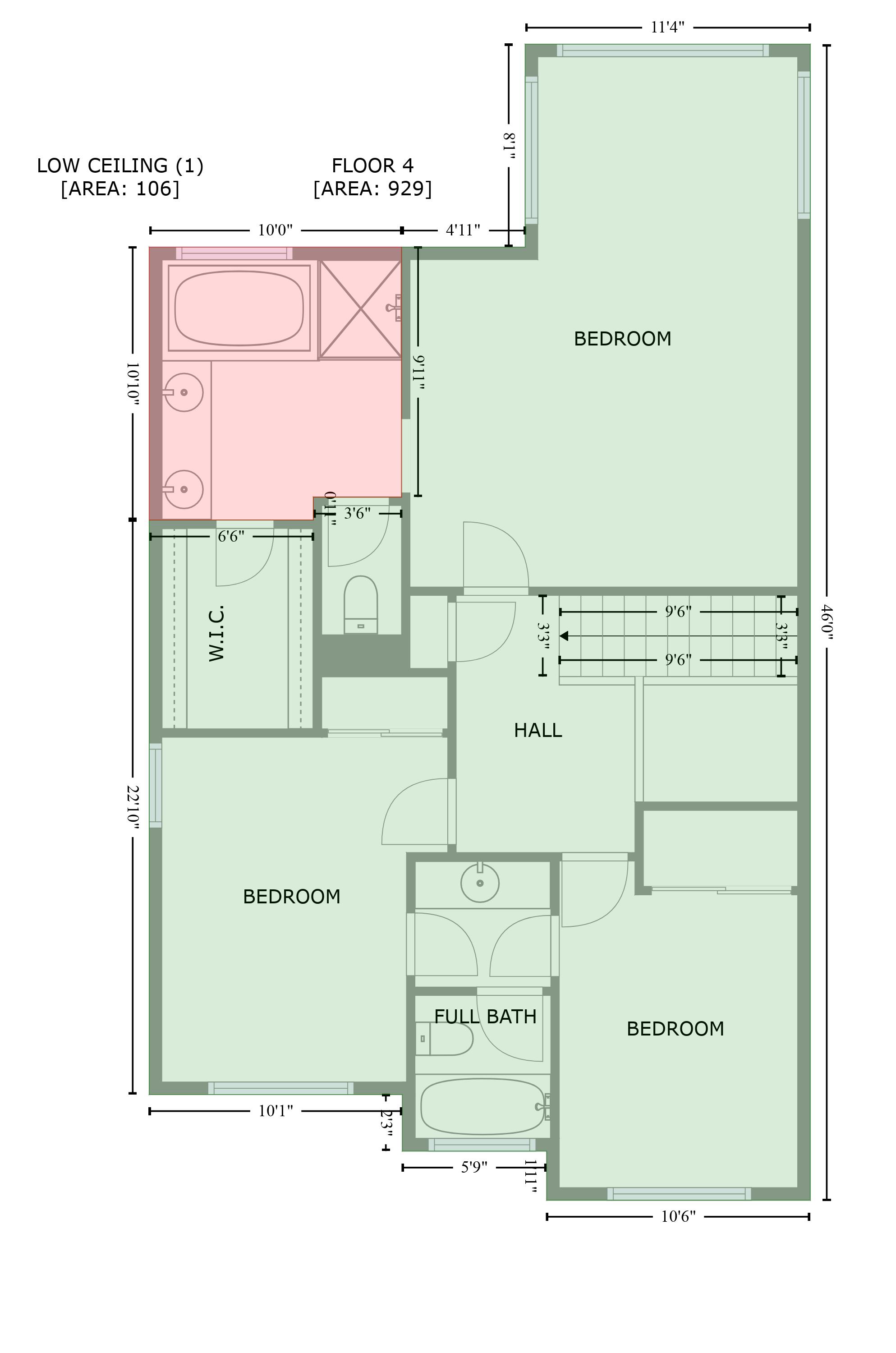
Space Area (sq. ft) Calculation Coordinate Polygon Area Algorithm using inches FLOOR 4 (Living area) 929 -((639.1 + 639.1) * (146.4 - 698.1) + (639.1 + 513.3) * (698.1 - 698.1) + (513.3 + 513.3) * (698.1674.7) + (513.3 + 444.4) * (674.7 - 674.7) + (444.4 + 444.4) * (674.7 - 647.7) + (444.4 + 323.6) * (647.7 - 647.7) + (323.6 + 323.6) * (647.7 - 373.5) + (323.6 + 401.9) * (373.5 - 373.5) + (401.9 + 401.9) * (373.5 - 362.6) + (401.9 + 444) * (362.6 - 362.6) + (444 + 444) * (362.6 - 243.2) + (444 + 503) * (243.2 - 243.2) + (503 + 503) * (243.2 - 146.4) + (503 + 639.1) * (146.4 - 146.4)) * 0.5 * 0.00694
Report generated on Mon, 18 Mar 2024 17:21:00 GMT. Measurements and calculations are deemed highly reliable, but not guaranteed.

9718 South Fallen Rock Road, Aspen Park, Conifer, Jefferson County, Colorado, United States, 80433

Gross Living Area: 2172 sq. ft

Space Area
ft) Calculation Coordinate Polygon Area Algorithm using inches LOW CEILING (Non-living area) 106 -((444 + 444) * (243.2 - 362.6) + (444 + 401.9) * (362.6 - 362.6) + (401.9 + 401.9) * (362.6373.5) + (401.9 + 323.6) * (373.5 - 373.5) + (323.6 + 323.6) * (373.5 - 243.2) + (323.6 + 444) * (243.2 - 243.2)) * 0.5 * 0.00694
(sq.
Report generated on Mon, 18 Mar 2024 17:21:00 GMT. Measurements and calculations are deemed highly reliable, but not guaranteed.

Turn static files into dynamic content formats.

Create a flipbook
Issuu converts static files into: digital portfolios, online yearbooks, online catalogs, digital photo albums and more. Sign up and create your flipbook.
9718 Fallen Rock Rd Conifer, CO 80433 by Louis, Debra &amp; Liz Moore - Issuu