Skip to main content

Terri Schneider 15144 SW Deepbrook Ln. Home book

Page 1


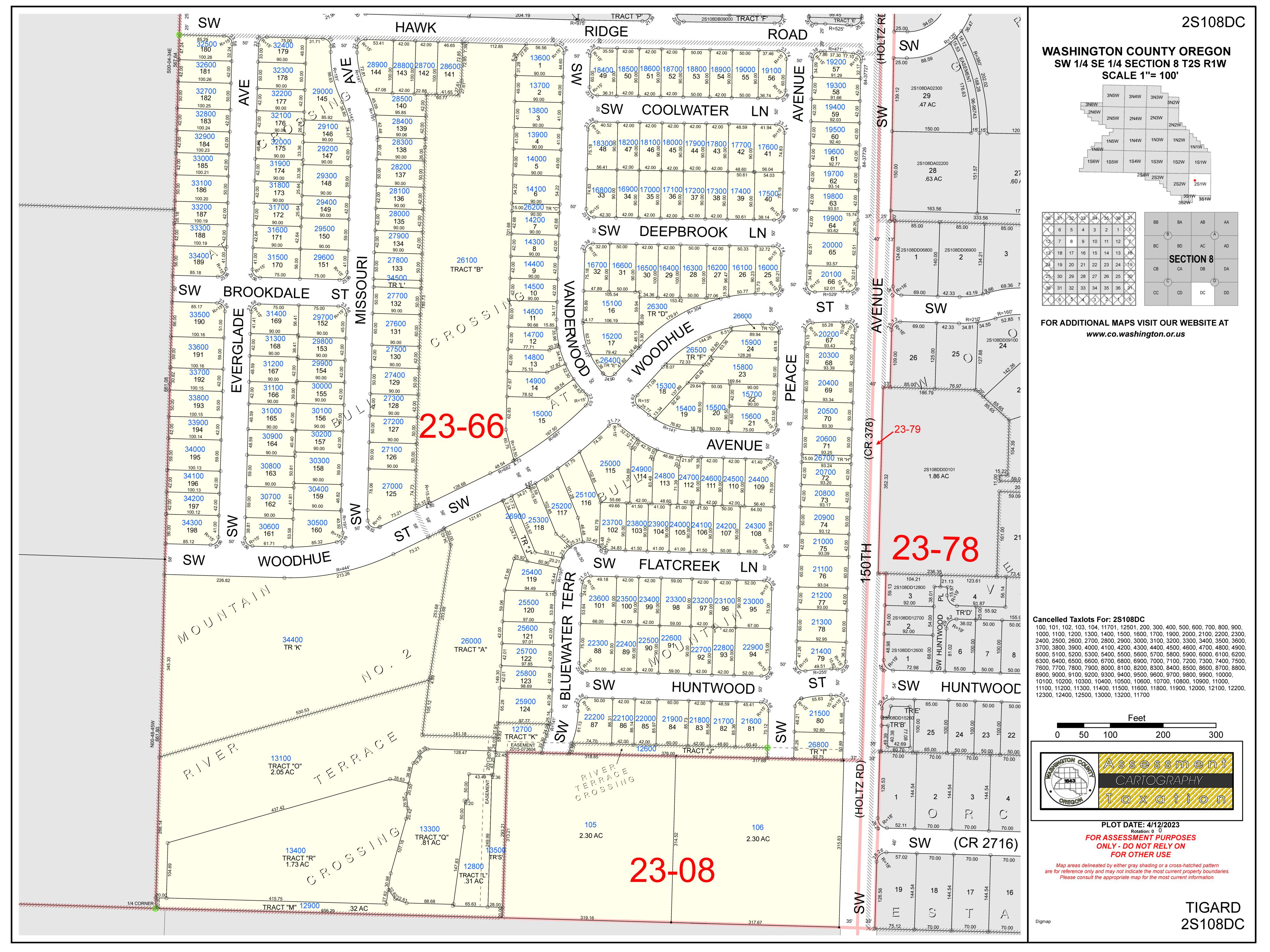
Subject Property 15144 SW Deepbrook Ln, Portland OR 97224

County Name: Washington

APN / Parcel Number: R2225953

Current Ownership: Woodman, Natalia A & Williams Family Trust

Site Address: 15144 SW Deepbrook Ln, Portland OR 97224

Mail Address: 28989 SW Meadows Loop, Wilsonville OR 97070 *Absentee Owner

Tract / Subdivision: / Crossing At Bull Mtn

Census Tract / Block: 031915 / 2042

Lot / Block: 28 / 2

Twn / Rng / Sec / Qtr: 02S / 01W / 08 / SE

Brief Legal Description: CROSSING AT BULL MOUNTAIN, LOT 28, ACRES 0.11

Sale Information

Sale Recording Date: 06/13/2023

Property Characteristics

5

Property Details

APN: R2225953

Sentry Dynamics, Inc and its customers make no representations, warranties or conditions, express or implied, as to the accuracy or completeness of information contained in this report

Parcel ID: R2225953
Sentry Dynamics, Inc
report 02/24/2026 Prepared by:Tracy Shea

Parcel ID: R2225953

SiteAddress: 15144 SW Deepbrook Ln

Sentry Dynamics, Inc and its customers make no representations, warranties or conditions, express or implied, as to the accuracy or completeness of information contained in this report

Parcel ID: R2225953

SiteAddress: 15144 SW Deepbrook Ln

Sentry Dynamics, Inc and its customers make no representations, warranties or conditions, express or implied, as to the accuracy or completeness of information contained in this report

R2225953 WOODMAN,NATALIAA& WILLIAMSFAMILYTRUST 15144SWDEEPBROOKLN, TIGARD,OR97224 $1,018,400

Details Bills PaymentHistory

2026GENERALINFORMATION

PropertyStatus AActive

PropertyType Residential

LegalDescription CROSSINGATBULLMOUNTAIN,LOT 28,ACRES0.11

AlternateAccountNumber -

Neighborhood RVRTRIVERTERRACE

MapNumber 2S108DC16300

PropertyUse 1010:RESIDENTIALIMPROVED

LevyCodeArea 023.66

2025CertiedTaxRate 18.6930

2026OWNERINFORMATION

OwnerName WOODMAN,NATALIAA&WILLIAMS FAMILYTRUST

MailingAddress 15144SWDEEPBROOKLNTIGARD, OR97224 RELATEDPROPERTIES

2025IMPROVEMENTS

LinkedPropertiesPropertyGroupIDGroupedPropertiesSplit/MergeDateSplit/MergeAccountsSplit/MergeMessage -

TAXSUMMARY

Age Distribution

Area Schools

Assigned School

Primary School: Alberta Rider Elementary School

Middle School: Twality Middle School

High School: Tualatin High School

Primary School

Alberta Rider Elementary School 1

Middle School

Twality Middle School 2

High School

Tualatin High School 3

1. Alberta Rider Elementary School

Distance: 1.09 mile(s)

Address: 14850 Sw 132Nd Ter District: Tigard-Tualatin Sd 23J Type: 1-Regular school

Charter: No Magnet:

Title 1 Elig: 2-No

2. Twality Middle School

Title 1: 6-Not a Title I school

Students: 387

Grade Levels: Kindergarten - 5th Grade

Male / Female: 181 / 206 Distance: 2.83 mile(s)

Address: 14650 Sw 97Th Ave District: Tigard-Tualatin Sd 23J Type: 1-Regular school

Charter: No Magnet:

Title 1 Elig: 2-No

Male / Female: 502 / 472

3. Tualatin High School

Title 1: 6-Not a Title I school

Students: 977

Grade Levels: 6th Grade - 8th Grade

Distance: 4.44 mile(s)

Address: 22300 Sw Boones Ferry Rd District: Tigard-Tualatin Sd 23J Type: 1-Regular school

Charter: No Magnet:

Title 1 Elig: 2-No

Male / Female: 919 / 815

Title 1: 6-Not a Title I school

Students: 1,756

Grade Levels: 9th Grade - 12th Grade

Scan QR Code for CC&Rs

CC&Rs: Crossing at Bull Mountain

STEPS IN A REAL ESTATE TRANSACTION

1

What is an Escrow?

THE LISTING AGREEMENT

The property owner (Seller) initiates a contract, or a listing agreement, with a licensed Real Estate Agent.

2

THE SALE

Property owner (Seller) enters into a purchase contract, typically referred to as an Earnest Money Agreement, with a Buyer.

3

ESCROW

As part of the purchase contract, Seller agrees to purchase a title insurance policy for the Buyer and both agree to close the transaction with a licensed escrow company. In Oregon, most title insurance companies also offer escrow services to facilitate a convenient “one-stop” approach to closing real estate transactions.

An escrow is a neutral third party depository for legal documents and funds necessary to complete a real estate transaction. The escrow agent will disburse funds and record documents for the proper recipients according to their written instructions.

What title insurance and escrow costs are incurred in a real estate sale?

The fee for escrow services is based on the sales price of the property. This fee is typically split equally between the Seller and Buyer. However, Buyers should check with their lenders if financing is involved because some federally insured lending programs do not allow borrowers to pay this fee. The Seller typically pays for a standard owner’s policy of title insurance which names the Buyer as the insured. Charges for this policy are based on the sales price of the property. The Buyer typically pays for a lender’s policy of title insurance and any required endorsements if s/he is obtaining a new loan to purchase the property. Charges for this policy are based on the loan amount.

What services does an escrow agent perform on behalf of the Seller and Buyer?

• Upon opening of escrow, escrow agent will order a preliminary title report, which will be sent to all interested parties involved in the transaction. The report will detail the current ownership, liens and encumbrances of the property.

• Closing statements will be prepared for each party, showing all credits and debits. The escrow agent will schedule appointments for all parties to sign their final necessary documents, including any funds needed to be deposited, to complete the transaction.

• Signed loan documents are returned to the Lender, for final review and funding approval.

• Recordable documents are released to the County Clerk’s office for recording.

• Once recorded, all funds are disbursed per written instructions.

• Final title policies are issued to the insured parties.

FROM PENDING TO SOLD

ESCROW FLOW CHART

Receive and review Earnest Money Agreement and Broker’s instructions.

Open escrow. Order title report.

Determine financing.

Information gathering from Buyer and Seller.

Receive title report. Send copies to all parties in the transaction.

Resolve any title issues. Order any payoff demands.

Review file. Are conditions satisfied? Contingencies removed?

Prepare closing statement, closing instructions and transfer deed

Obtain signatures on all escrow and loan documents. Collect any funds due from Buyer and/or Seller

Record applicable documents with the County Recorder's office.

Close file. Prepare final statements. Disburse funds.

Forward final documents to all interested parties - Buyer, Seller, Real Estate Agents, Lender, Broker, Attorney, etc.

NEW LOAN

Notify Escrow with name of new lender and loan officer.

Send title report to lender.

Notification of final loan approval. Are repairs complete?

Deliver Seller & Buyer Closing Disclosures. Buyers’ consummation 3-6 days.

Loan documents delivered to escrow.

Return loan documents for final approval to fund and record.

Order loan funds.

Turn static files into dynamic content formats.

Create a flipbook
Terri Schneider 15144 SW Deepbrook Ln. Home book by Lawyers Title Oregon - Issuu