Skip to main content

Tanner Kollar 11644 NE San Rafael St. HB

Page 1


Subject Property 11644 NE San Rafael St, Portland OR 97220

County Name: Multnomah

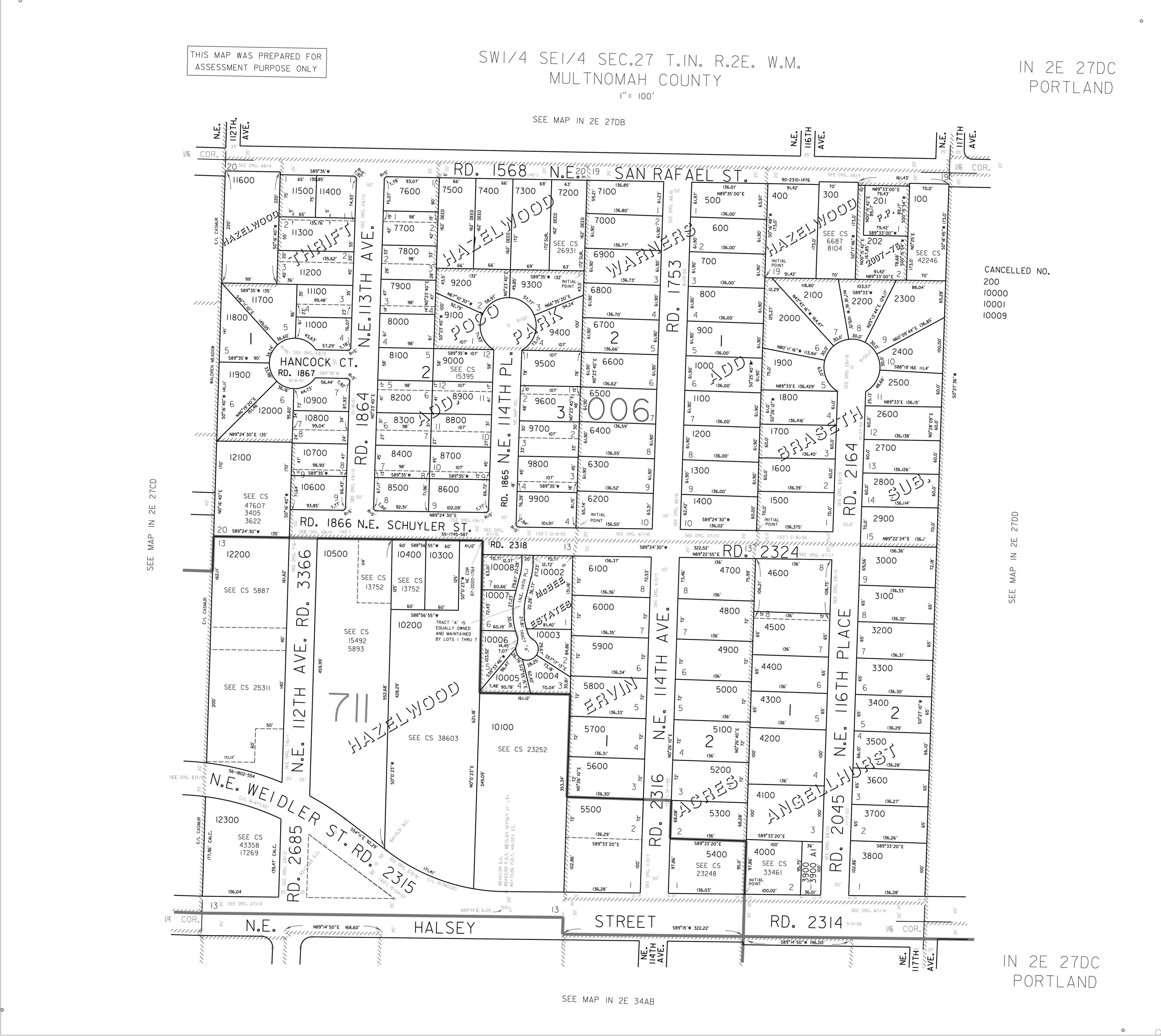
APN / Parcel Number: R178033

Current Ownership: Grazier, Bonnie J G Trust

Site Address: 11644 NE San Rafael St, Portland OR 97220

Mail Address: 11644 NE San Rafael St, Portland OR 97220

*Owner Occupied

Tract / Subdivision: / Hazelwood

Census Tract / Block: 008002 / 2007

Lot / Block: 19

Twn / Rng / Sec / Qtr: 01N / 02E / 27 / SE

Brief Legal Description: HAZELWOOD, LOT 19 TL 100

Sale Information

Sale Recording Date: Title Company:

Sale Price: Document #:

Cost/SqFt: Vesting:

Purchase Loan: Buyer Name(s):

Property Characteristics

Property Details

/ Composition Shingle

1

Att

APN: R178033

Sentry Dynamics, Inc and its customers make no representations, warranties or conditions, express or implied, as to the accuracy or completeness of information contained in this report

Parcel ID: R178033
Sentry Dynamics, Inc and its customers make no representations, warranties or conditions, express or implied,
report 07/16/2025 Prepared by:Tracy Shea

Parcel ID: R178033

SiteAddress: 11644 NE San Rafael St

Sentry Dynamics, Inc and its customers make no representations, warranties or conditions, express or implied, as to the accuracy or completeness of information contained in this report

Parcel ID: R178033

SiteAddress: 11644 NE San Rafael St

Sentry Dynamics, Inc and its customers make no representations, warranties or conditions, express or implied, as to the accuracy or completeness of information contained in this report

GENERALINFORMATION

Property Status AActive

Property Type RPResidential

Legal Description HAZELWOOD,LOT19TL100

Alternate Account Number R370305280

Neighborhood RB2063Gateway Map Number 1N2E27DC-00100

Property Use B-RESIDENTIALIMPROVED

LevyCodeArea 006

OWNERINFORMATION

Owner Name GRAZIER,BONNIEJGTR

Mailing Address 11644NESANRAFAELSTPORTLAND,OR 97220

EXEMPTIONS

$198,160

RELATEDPROPERTIES

Split/Merge data prior to February 6, 2018 is not available online, please call Multnomah County Assessment & Taxation division.

Linked Properties -

Property Group ID -

Grouped Properties -

Split / Merge Date -

Split / Merge Accounts -

Split / Merge Message -

If applicable, the described property is receiving special valuation based upon its use. Additional rollback taxes which may become due based on the provisions of the special valuation are not indicated in this listing. TAXSUMMARY

Households Breakdown

Age Distribution

Area Schools

Assigned School

Primary School: Sacramento Elementary School

Middle School: Parkrose Middle School

High School: Parkrose High School

Primary School

Sacramento Elementary School 1

Middle School

Parkrose Middle School 2

High School

Parkrose High School 3

Other School

1. Sacramento Elementary School

Address: 11400 Ne Sacramento St District: Parkrose Sd 3

Charter: No Magnet:

Title 1 Elig: 1-Yes

Male / Female: 121 / 115

2. Parkrose Middle School

Title 1: 5-Title I schoolwide school

Address: 11800 Ne Shaver St District: Parkrose Sd 3

Charter: No Magnet:

Title 1 Elig: 2-No

Male / Female: 340 / 317

3. Parkrose High School

Title 1: 6-Not a Title I school

Address: 12003 Ne Shaver St District: Parkrose Sd 3

Charter: No

Title 1 Elig: 2-No

Male / Female: 482 / 517

Title 1: 6-Not a Title I school

Distance: 0.18 mile(s)

Type: 1-Regular school

Students: 240

Grade Levels: Kindergarten - 5th Grade

Distance: 0.92 mile(s)

Type: 1-Regular school

Students: 664

Grade Levels: 6th Grade - 8th Grade

Distance: 1.13 mile(s)

Type: 1-Regular school

Students: 1,011

Grade Levels: 9th Grade - 12th Grade

This map/plat is being furnished as an aid in locating the herein described Land in relation to adjoining streets, natural boundaries and other land, and is not a survey of the land depicted. Except to the extent a policyof title insurance is expresslymodified by endorsement, if any, the Company does not insure dimensions, distances, location of easements, acreage or other matters shown thereon.

STEPS IN A REAL ESTATE TRANSACTION

1

What is an Escrow?

THE LISTING AGREEMENT

The property owner (Seller) initiates a contract, or a listing agreement, with a licensed Real Estate Agent.

2

THE SALE

Property owner (Seller) enters into a purchase contract, typically referred to as an Earnest Money Agreement, with a Buyer.

3

ESCROW

As part of the purchase contract, Seller agrees to purchase a title insurance policy for the Buyer and both agree to close the transaction with a licensed escrow company. In Oregon, most title insurance companies also offer escrow services to facilitate a convenient “one-stop” approach to closing real estate transactions.

An escrow is a neutral third party depository for legal documents and funds necessary to complete a real estate transaction. The escrow agent will disburse funds and record documents for the proper recipients according to their written instructions.

What title insurance and escrow costs are incurred in a real estate sale?

The fee for escrow services is based on the sales price of the property. This fee is typically split equally between the Seller and Buyer. However, Buyers should check with their lenders if financing is involved because some federally insured lending programs do not allow borrowers to pay this fee. The Seller typically pays for a standard owner’s policy of title insurance which names the Buyer as the insured. Charges for this policy are based on the sales price of the property. The Buyer typically pays for a lender’s policy of title insurance and any required endorsements if s/he is obtaining a new loan to purchase the property. Charges for this policy are based on the loan amount.

What services does an escrow agent perform on behalf of the Seller and Buyer?

• Upon opening of escrow, escrow agent will order a preliminary title report, which will be sent to all interested parties involved in the transaction. The report will detail the current ownership, liens and encumbrances of the property.

• Closing statements will be prepared for each party, showing all credits and debits. The escrow agent will schedule appointments for all parties to sign their final necessary documents, including any funds needed to be deposited, to complete the transaction.

• Signed loan documents are returned to the Lender, for final review and funding approval.

• Recordable documents are released to the County Clerk’s office for recording.

• Once recorded, all funds are disbursed per written instructions.

• Final title policies are issued to the insured parties.

FROM PENDING TO SOLD

ESCROW FLOW CHART

Receive and review Earnest Money Agreement and Broker’s instructions.

Open escrow. Order title report.

Determine financing.

Information gathering from Buyer and Seller.

Receive title report. Send copies to all parties in the transaction.

Resolve any title issues. Order any payoff demands.

Review file. Are conditions satisfied? Contingencies removed?

Prepare closing statement, closing instructions and transfer deed

Obtain signatures on all escrow and loan documents. Collect any funds due from Buyer and/or Seller

Record applicable documents with the County Recorder's office.

Close file. Prepare final statements. Disburse funds.

Forward final documents to all interested parties - Buyer, Seller, Real Estate Agents, Lender, Broker, Attorney, etc.

NEW LOAN

Notify Escrow with name of new lender and loan officer.

Send title report to lender.

Notification of final loan approval. Are repairs complete?

Deliver Seller & Buyer Closing Disclosures. Buyers’ consummation 3-6 days.

Loan documents delivered to escrow.

Return loan documents for final approval to fund and record.

Order loan funds.

Turn static files into dynamic content formats.

Create a flipbook