Skip to main content

Sherry Hedges 3523 SW 13th Ave Home book

Page 1


Subject Property

County Name: Multnomah

APN / Parcel Number: R247167

Current Ownership: Hearn, James D Trust

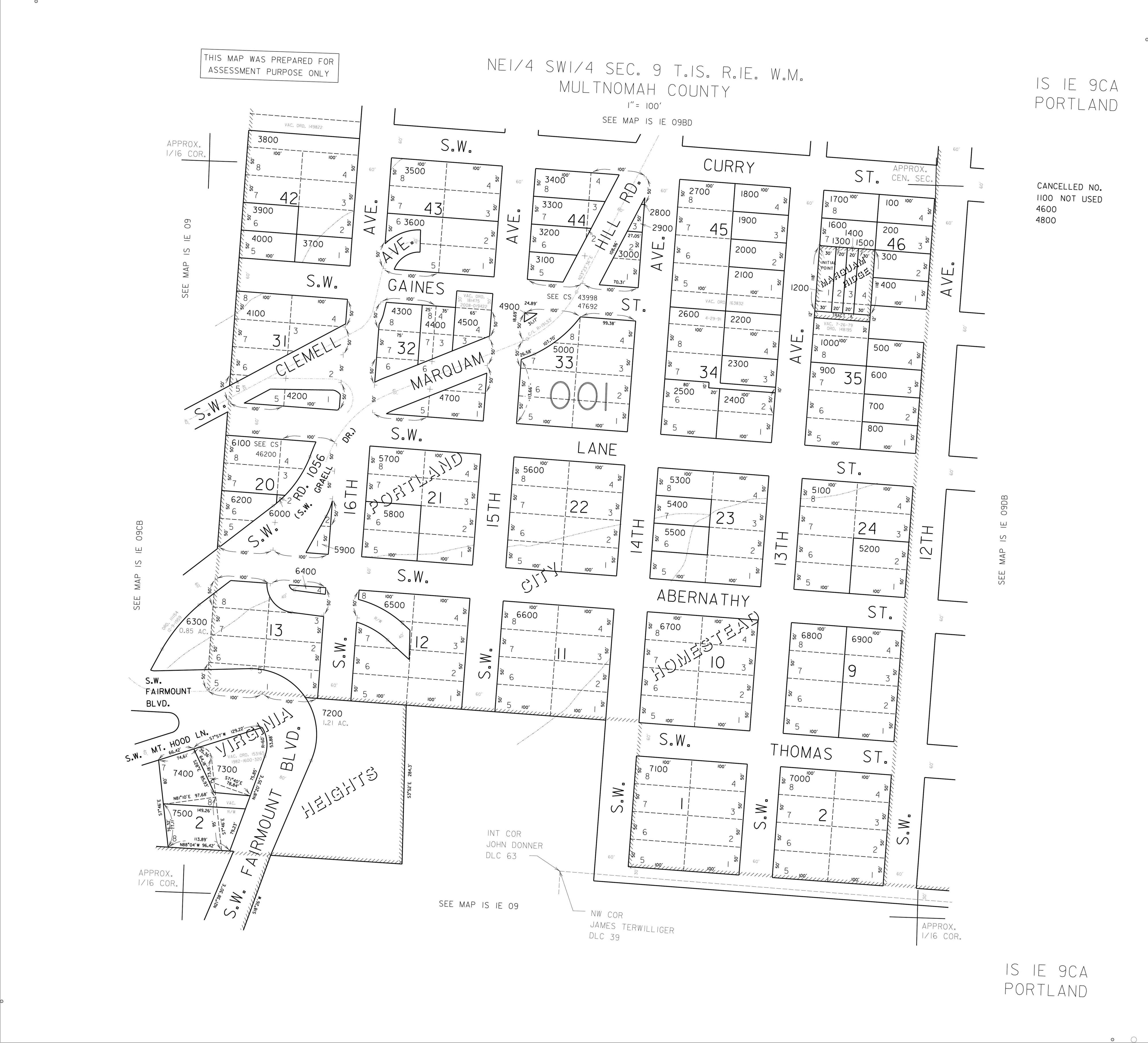
Site Address: 3523 Wi/ SW 13th Ave, Portland OR 97239

Mail Address: 3523 SW 13th Ave, Portland OR 97239 *Owner Occupied

Tract / Subdivision: / Portland City Hmstd

Census Tract / Block: 005800 / 3002

Lot / Block: 3 / 45

Twn / Rng / Sec / Qtr: 01S / 01E / 09 / SW

Brief Legal Description: PORTLAND CITY HMSTD, BLOCK 45, LOT 3

Sale Information

Sale Recording Date:

Property Characteristics

APN: R247167

GENERALINFORMATION

Property Status AActive

Property Type RPResidential

Legal Description PORTLANDCITYHMSTD,BLOCK45,LOT3

Alternate Account Number R668002590

Neighborhood RB4142 Goose Hollow Map Number 1S1E09CA-01900

Property Use A-VACANTLAND

LevyCodeArea 001

OWNERINFORMATION

Owner Name HEARN,JAMESDTR

Mailing Address 3523SW13THAVEPORTLAND,OR 97239-2925

RELATEDPROPERTIES

Split/Merge data prior to February 6, 2018 is not available online, please call Multnomah County Assessment & Taxation division.

Linked Properties -

Property Group ID -

Grouped Properties -

Split / Merge Date -

Split / Merge Accounts -

Split / Merge Message -

LANDSEGMENTS

Subject Property

County Name: Multnomah

APN / Parcel Number: R247166

Current Ownership: Hearn, James D Trust

Site Address: 3523 SW 13th Ave, Portland OR 97239

Mail Address: 3523 SW 13th Ave, Portland OR 97239 *Owner Occupied

Tract / Subdivision: / Portland City Hmstd

Census Tract / Block: 005800 / 3002

Lot / Block: 2 / 45

Twn / Rng / Sec / Qtr: 01S / 01E / 09 / SW

Brief Legal Description: PORTLAND CITY HMSTD, BLOCK 45, LOT 2

Sale Information

Property Characteristics

Property Details

APN: R247166

GENERALINFORMATION

Property Status AActive

Property Type RPResidential

Legal Description PORTLANDCITYHMSTD,BLOCK45,LOT2

Alternate Account Number R668002580

Neighborhood RB4142 Goose Hollow Map Number 1S1E09CA-02000

Property Use B-RESIDENTIALIMPROVED

LevyCodeArea 001

OWNERINFORMATION

Owner Name HEARN,JAMESDTR

Mailing Address 3523SW13THAVEPORTLAND,OR 97239-2925

RELATEDPROPERTIES

Split/Merge data prior to February 6, 2018 is not available online, please call Multnomah County Assessment & Taxation division.

Linked Properties -

Property Group ID -

Grouped Properties -

Split / Merge Date -

Split / Merge Accounts -

Split / Merge Message -

IMPROVEMENTS ? Expand/Collapse All

This property has remaining taxes due from a prior year

If applicable, the described property is receiving special valuation based upon its use. Additional rollback taxes which may become due based on the provisions of the special valuation are not indicated in this listing.

$9,333.19

$21,587.99

$30,921.18

Subject Property

County Name: Multnomah

APN / Parcel Number: R247165

Current Ownership: Hearn, James D Trust

Site Address: 3523 S/ SW 13th Ave, Portland OR 97239

Mail Address: 3523 SW 13th Ave, Portland OR 97239 *Owner Occupied

Tract / Subdivision: / Portland City Hmstd

Census Tract / Block: 005800 / 3002

Lot / Block: 1 / 45

Twn / Rng / Sec / Qtr: 01S / 01E / 09 / SW

Brief Legal Description: PORTLAND CITY HMSTD, BLOCK 45, INC

Sale Information

Sale Recording Date:

Property Characteristics

Property Details

APN: R247165

GENERALINFORMATION

Property Status AActive

Property Type RPResidential

Legal Description PORTLANDCITYHMSTD,BLOCK45,INCPT VACSTLOT1

Alternate Account Number R668002570

Neighborhood RB4142 Goose Hollow

Map Number 1S1E09CA-02100

Property Use A-VACANTLAND

LevyCodeArea 001

OWNERINFORMATION

Owner Name HEARN,JAMESDTR

Mailing Address 3523SW13THAVEPORTLAND,OR 97239-2925

RELATEDPROPERTIES

Split/Merge data prior to February 6, 2018 is not available online, please call Multnomah County Assessment & Taxation division.

Linked Properties -

Property Group ID -

Grouped Properties -

Split / Merge Date -

Split / Merge Accounts -

Split / Merge Message -

HEARN,JAMESD HEARN,JAMESDTR 2004206963 11/16/2004INST HEARN,JAMESD HEARN,JAMESD BP13770806 -

This map/plat is being furnished as an aid in locating the herein described land in relation to adjoining streets, natural boundaries and other land, and is not a survey of the land depicted. Except to the extent a policy of title insurance is expressly modified by endorsement, if any, the company does not insure dimensions, distances, location of easements, acreage or other matters shown thereon.

Breakdown

Age Distribution

Area Schools

Assigned School

Primary School: Ainsworth Elementary School

Middle School: West Sylvan Middle School

High School: Lincoln High School

Primary School

Ainsworth Elementary School 1

Middle School

West Sylvan Middle School 3

High School

Lincoln High School 2

Other School

1. Ainsworth Elementary School

Address: 2425 Sw Vista Ave District: Portland Sd 1J

Charter: No Magnet:

Title 1 Elig: 2-No

2. Lincoln High School

Title 1: 6-Not a Title I school

Distance: 0.91 mile(s)

Type: 1-Regular school

Students: 585

Grade Levels: Kindergarten - 5th Grade

Male / Female: 298 / 287 Distance: 1.52 mile(s)

Address: 1750 Sw Salmon St. District: Portland Sd 1J

Charter: No Magnet:

Title 1 Elig: 2-No

3. West Sylvan Middle School

Title 1: 6-Not a Title I school

Type: 1-Regular school

Students: 1,579

Grade Levels: 9th Grade - 12th Grade

Male / Female: 819 / 733 Distance: 3.28 mile(s)

Address: 8111 Sw West Slope Dr District: Portland Sd 1J

Charter: No

Title 1 Elig: 2-No

Male / Female: 372 / 343

Title 1: 6-Not a Title I school

Type: 1-Regular school

Students: 723

Grade Levels: 6th Grade - 8th Grade

STEPS IN A REAL ESTATE TRANSACTION

1

What is an Escrow?

THE LISTING AGREEMENT

The property owner (Seller) initiates a contract, or a listing agreement, with a licensed Real Estate Agent.

2

THE SALE

Property owner (Seller) enters into a purchase contract, typically referred to as an Earnest Money Agreement, with a Buyer.

3

ESCROW

As part of the purchase contract, Seller agrees to purchase a title insurance policy for the Buyer and both agree to close the transaction with a licensed escrow company. In Oregon, most title insurance companies also offer escrow services to facilitate a convenient “one-stop” approach to closing real estate transactions.

An escrow is a neutral third party depository for legal documents and funds necessary to complete a real estate transaction. The escrow agent will disburse funds and record documents for the proper recipients according to their written instructions.

What title insurance and escrow costs are incurred in a real estate sale?

The fee for escrow services is based on the sales price of the property. This fee is typically split equally between the Seller and Buyer. However, Buyers should check with their lenders if financing is involved because some federally insured lending programs do not allow borrowers to pay this fee. The Seller typically pays for a standard owner’s policy of title insurance which names the Buyer as the insured. Charges for this policy are based on the sales price of the property. The Buyer typically pays for a lender’s policy of title insurance and any required endorsements if s/he is obtaining a new loan to purchase the property. Charges for this policy are based on the loan amount.

What services does an escrow agent perform on behalf of the Seller and Buyer?

• Upon opening of escrow, escrow agent will order a preliminary title report, which will be sent to all interested parties involved in the transaction. The report will detail the current ownership, liens and encumbrances of the property.

• Closing statements will be prepared for each party, showing all credits and debits. The escrow agent will schedule appointments for all parties to sign their final necessary documents, including any funds needed to be deposited, to complete the transaction.

• Signed loan documents are returned to the Lender, for final review and funding approval.

• Recordable documents are released to the County Clerk’s office for recording.

• Once recorded, all funds are disbursed per written instructions.

• Final title policies are issued to the insured parties.

FROM PENDING TO SOLD

ESCROW FLOW CHART

Receive and review Earnest Money Agreement and Broker’s instructions.

Open escrow. Order title report.

Determine financing.

Information gathering from Buyer and Seller.

Receive title report. Send copies to all parties in the transaction.

Resolve any title issues. Order any payoff demands.

Review file. Are conditions satisfied? Contingencies removed?

Prepare closing statement, closing instructions and transfer deed

Obtain signatures on all escrow and loan documents. Collect any funds due from Buyer and/or Seller

Record applicable documents with the County Recorder's office.

Close file. Prepare final statements. Disburse funds.

Forward final documents to all interested parties - Buyer, Seller, Real Estate Agents, Lender, Broker, Attorney, etc.

NEW LOAN

Notify Escrow with name of new lender and loan officer.

Send title report to lender.

Notification of final loan approval. Are repairs complete?

Deliver Seller & Buyer Closing Disclosures. Buyers’ consummation 3-6 days.

Loan documents delivered to escrow.

Return loan documents for final approval to fund and record.

Order loan funds.

Turn static files into dynamic content formats.

Create a flipbook
Sherry Hedges 3523 SW 13th Ave Home book by Lawyers Title Oregon - Issuu