Skip to main content

QR Homebook - 2700 SW 175th Ave

Page 1


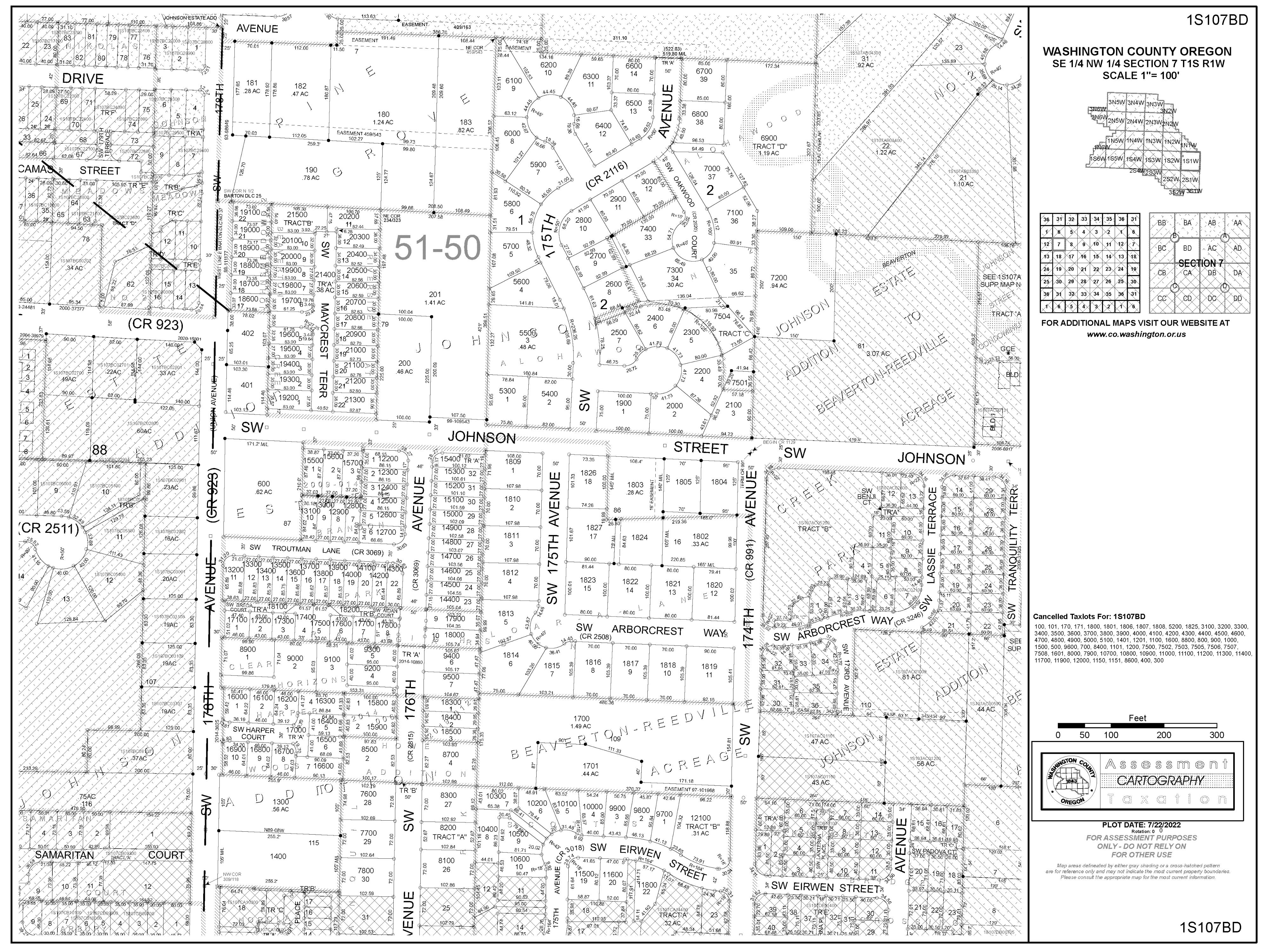
County Name: Washington APN / Parcel Number: R46382 Current Ownership: Jay & Yuderquis Kent Site Address: 2700 SW 175th Ave, Beaverton OR 97003

Property Characteristics

ParcelID:R46382

SiteAddress:2700SW175thAve

SentryDynamics,Inc anditscustomersmakenorepresentations,warranties orconditions,expressorimplied,astotheaccuracyorcompletenessof informationcontainedinthisreport

ParcelID:R46382

SiteAddress:2700SW175thAve

SentryDynamics,Inc anditscustomersmakenorepresentations,warranties orconditions,expressorimplied,astotheaccuracyorcompletenessof informationcontainedinthisreport

HOME PAIDUSERSLOGIN

R46382 KENT,JAYA&KENT, YUDERQUISA

Details Bills PaymentHistory

2025GENERALINFORMATION

PropertyStatus AActive

PropertyType Residential

LegalDescription ALOHAWOOD,BLOCK2,LOT8&PT TRACTC,ACRES0.16

AlternateAccountNumberNeighborhood NAL1NORTHALOHA1

MapNumber 1S107BD02600

PropertyUse 1010:RESIDENTIALIMPROVED

LevyCodeArea 051.50

2024CertiedTaxRate 18.6525

2025OWNERINFORMATION

OwnerName KENT,JAYA&KENT,YUDERQUISA

MailingAddress 2700SW175THAVEALOHA,OR 97003

2024IMPROVEMENTS

2024LANDSEGMENTS

J/JANETSTRS

JANETSOPHIA

2700SW175THAVE, UNINCORPORATED,OR 97003

RELATEDPROPERTIES

LinkedPropertiesPropertyGroupID -

GroupedPropertiesSplit/MergeDateSplit/MergeAccountsSplit/MergeMessage -

J/JANETSTRS

JANETSOPHIA

TAXSUMMARY

$66.06

$60.66

$55.98

$53.81

$50.91

$40.05

$39.22

$37.34

$35.91

$45.83

Households Breakdown

Age Distribution

Area Schools

Assigned School

Primary School: Beaver Acres Elementary School

Middle School: Meadow Park Middle School

High School: Aloha High School

Primary School

Beaver Acres Elementary School 1

Middle School

Meadow Park Middle School 3

High School

Aloha High School 2

Other School

1. Beaver Acres Elementary School

Address: 2125 Sw 170Th Ave District: Beaverton Sd 48J

Charter: No

Title 1 Elig: 1-Yes

2. Aloha High School

Distance: 0.36 mile(s)

Type: 1-Regular school

Students: 755

Title 1: 5-Title I schoolwide school Grade Levels: Prekindergarten - 5th Grade

Male / Female: 371 / 384 Distance: 1.22 mile(s)

Address: 18550 Sw Kinnaman Rd District: Beaverton Sd 48J

Charter: No

Title 1 Elig: 2-No

Male / Female: 888 / 790

3 Meadow Park Middle School

Title 1: 6-Not a Title I school

Address: 14100 Sw Downing St District: Beaverton Sd 48J

Charter: No

Title 1 Elig: 2-No

Male / Female: 371 / 326

Title 1: 6-Not a Title I school

Type: 1-Regular school

Students: 1,686

Grade Levels: 9th Grade - 12th Grade

Distance: 1 95 mile(s)

Type: 1-Regular school

Students: 697

Grade Levels: 6th Grade - 8th Grade

STEPS IN A REAL ESTATE TRANSACTION

1

What is an Escrow?

THE LISTING AGREEMENT

The property owner (Seller) initiates a contract, or a listing agreement, with a licensed Real Estate Agent.

2

THE SALE

Property owner (Seller) enters into a purchase contract, typically referred to as an Earnest Money Agreement, with a Buyer.

3

ESCROW

As part of the purchase contract, Seller agrees to purchase a title insurance policy for the Buyer and both agree to close the transaction with a licensed escrow company. In Oregon, most title insurance companies also offer escrow services to facilitate a convenient “one-stop” approach to closing real estate transactions.

An escrow is a neutral third party depository for legal documents and funds necessary to complete a real estate transaction. The escrow agent will disburse funds and record documents for the proper recipients according to their written instructions.

What title insurance and escrow costs are incurred in a real estate sale?

The fee for escrow services is based on the sales price of the property. This fee is typically split equally between the Seller and Buyer. However, Buyers should check with their lenders if financing is involved because some federally insured lending programs do not allow borrowers to pay this fee. The Seller typically pays for a standard owner’s policy of title insurance which names the Buyer as the insured. Charges for this policy are based on the sales price of the property. The Buyer typically pays for a lender’s policy of title insurance and any required endorsements if s/he is obtaining a new loan to purchase the property. Charges for this policy are based on the loan amount.

What services does an escrow agent perform on behalf of the Seller and Buyer?

• Upon opening of escrow, escrow agent will order a preliminary title report, which will be sent to all interested parties involved in the transaction. The report will detail the current ownership, liens and encumbrances of the property.

• Closing statements will be prepared for each party, showing all credits and debits. The escrow agent will schedule appointments for all parties to sign their final necessary documents, including any funds needed to be deposited, to complete the transaction.

• Signed loan documents are returned to the Lender, for final review and funding approval.

• Recordable documents are released to the County Clerk’s office for recording.

• Once recorded, all funds are disbursed per written instructions.

• Final title policies are issued to the insured parties.

FROM PENDING TO SOLD

ESCROW FLOW CHART

Receive and review Earnest Money Agreement and Broker’s instructions.

Open escrow. Order title report.

Determine financing.

Information gathering from Buyer and Seller.

Receive title report. Send copies to all parties in the transaction.

Resolve any title issues. Order any payoff demands.

Review file. Are conditions satisfied? Contingencies removed?

Prepare closing statement, closing instructions and transfer deed

Obtain signatures on all escrow and loan documents. Collect any funds due from Buyer and/or Seller

Record applicable documents with the County Recorder's office.

Close file. Prepare final statements. Disburse funds.

Forward final documents to all interested parties - Buyer, Seller, Real Estate Agents, Lender, Broker, Attorney, etc.

NEW LOAN

Notify Escrow with name of new lender and loan officer.

Send title report to lender.

Notification of final loan approval. Are repairs complete?

Deliver Seller & Buyer Closing Disclosures. Buyers’ consummation 3-6 days.

Loan documents delivered to escrow.

Return loan documents for final approval to fund and record.

Order loan funds.

Turn static files into dynamic content formats.

Create a flipbook