Skip to main content

QR Homebook - 1250 11th St

Page 1


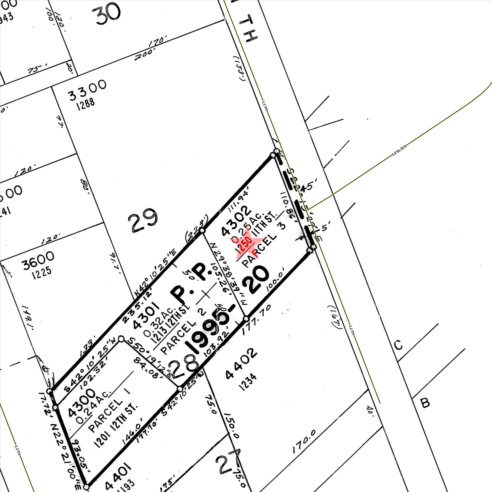
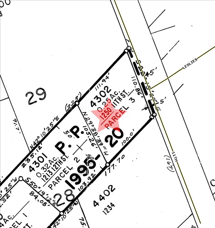
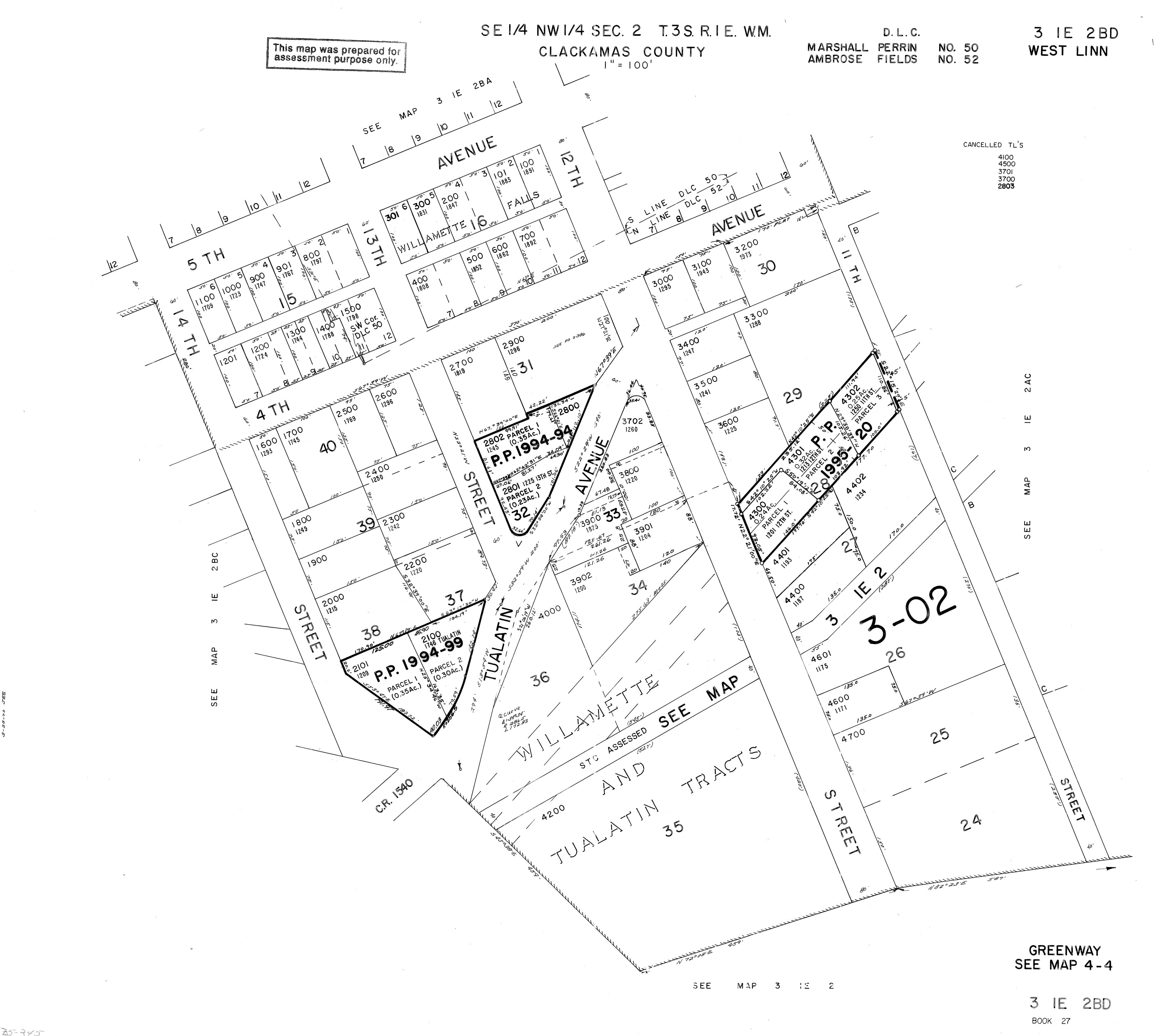
County Name: Clackamas APN / Parcel Number: 01643733

Current Ownership: Stephanie & Cory Isaacson

Site Address: 1250 11th St, West Linn OR 97068 Mail Address: 1250 11th St, West Linn OR 97068

Property Characteristics

ParcelID:01643733

SiteAddress:125011thSt

SentryDynamics,Inc anditscustomersmakenorepresentations,warranties orconditions,expressorimplied,astotheaccuracyorcompletenessof informationcontainedinthisreport

ParcelID:01643733

SiteAddress:125011thSt

SentryDynamics,Inc anditscustomersmakenorepresentations,warranties orconditions,expressorimplied,astotheaccuracyorcompletenessof informationcontainedinthisreport

Property Account Summary

GeneralInformation

AlternateProperty# 31E02BD04302

PropertyDescription 1995-20PARTITIONPLATPARCEL3

LastSalePrice $000

LastSaleDate 05/14/2020

LastSaleExciseNumber 370072

PropertyCategory

Remarks

Characteristics

AV Exception

Parents

ParcelNo. Seg/MergeNo. Status FromDate ToDate Continued DocumentNumber No Parents Found

Children

ParcelNo. Seg/MergeNo. Status FromDate ToDate DocumentNumber No Children Found

ActiveExemptions No Exemptions Found

Events

Effective Date EntryDate-Time Type

04/29/2020 05/14/2020 08:09:00 Recording Processed

Remarks

Property Transfer Filing No.: 370072, Bargain & Sale, Recording No.: 2020031003 04/29/2020 by CINDYSIM

04/29/2020 05/14/2020 08:09:00 Taxpayer Changed Property Transfer Filing No.: 370072 04/29/2020 by CINDYSIM

10/14/2016 12/01/2016 09:55:00 Taxpayer Changed Property Transfer Filing No.: 306050 10/14/2016 by HEIDIHAR

10/14/2016 12/01/2016 09:55:00 Recording Processed

01/06/2009 01/21/2009 12:48:00 Recording Processed

Property Transfer Filing No.: 306050, Warranty Deed, Recording No.: 2016070850 10/14/2016 by HEIDIHAR

Property Transfer Filing No.: 185118, Bargain & Sale, Recording No.: 2009000685 01/06/2009 by SUSANBRO

01/06/2009 01/21/2009 12:48:00 Taxpayer Changed Property Transfer Filing No.: 185118 01/06/2009 by SUSANBRO

04/05/2004 04/05/2004 10:05:00 Annexation Completed For Property Annex to TVFR, Ord 03-13 for 2004-Revise TCA Membership by JENMAYO

07/31/2002 08/05/2002 09:44:00 Taxpayer Changed Property Transfer Filing No.: 57908 07/31/2002 by LAURIEB

07/31/2002 08/05/2002 09:44:00 Recording Processed

Property Transfer Filing No.: 57908, Bargain & Sale, Recording No.: 2002070790 07/31/2002 by LAURIEB

07/01/1999 07/01/1999 12:00:00 Ownership at Conversion Warranty Deed: 95-04779, 1/1/95, $ 50000

No Records Found

InstallmentsPayable/PaidforTaxYear(Enter4-digitYear,thenClick-Here): 2024

Receipts

00:00:00

(ReceiptDetail.aspx? receiptnumber=5661410)

(ReceiptDetail.aspx? receiptnumber=5466236)

00:00:00 5092550 (ReceiptDetail.aspx? receiptnumber=5092550)

SalesHistory

04/24/2020 05/14/2020 04/29/2020 2020031003

10/05/2016 12/01/2016 10/14/2016 2016070850 $540,000.00 306050

01/21/2009 01/06/2009 2009000685

PropertyDetails

Detailed Statement

Households Breakdown

Age Distribution

Area Schools

Assigned School

Primary School: Willamette Primary School

Middle School: Athey Creek Middle School

High School: West Linn High School

Primary School

Willamette Primary School 1

Middle School

Creek Middle School 3 High School

1. Willamette Primary School

Distance: 0.13 mile(s)

Address: 1403 Se 12Th St District: West Linn-Wilsonville Sd 3J Type: 1-Regular school

Charter: No Magnet:

Title 1 Elig: 2-No

Title 1: 6-Not a Title I school

Students: 426

Grade Levels: Prekindergarten - 5th Grade

Male / Female: 221 / 205 Distance: 2.29 mile(s) 2. West Linn High School

Address: 5464 W "A" St District: West Linn-Wilsonville Sd 3J Type: 1-Regular school

Charter: No

Title 1 Elig: 2-No

Title 1: 6-Not a Title I school

Students: 1,905

Grade Levels: 9th Grade - 12th Grade

Male / Female: 1,003 / 897 Distance: 3 67 mile(s) 3 Athey Creek Middle School

Address: 2900 Sw Borland Rd District: West Linn-Wilsonville Sd 3J Type: 1-Regular school

Charter: No

Title 1 Elig: 2-No

Male / Female: 288 / 226

Students: 514

Title 1: 6-Not a Title I school Grade Levels: 6th Grade - 8th Grade

STEPS IN A REAL ESTATE TRANSACTION

1

What is an Escrow?

THE LISTING AGREEMENT

The property owner (Seller) initiates a contract, or a listing agreement, with a licensed Real Estate Agent.

2

THE SALE

Property owner (Seller) enters into a purchase contract, typically referred to as an Earnest Money Agreement, with a Buyer.

3

ESCROW

As part of the purchase contract, Seller agrees to purchase a title insurance policy for the Buyer and both agree to close the transaction with a licensed escrow company. In Oregon, most title insurance companies also offer escrow services to facilitate a convenient “one-stop” approach to closing real estate transactions.

An escrow is a neutral third party depository for legal documents and funds necessary to complete a real estate transaction. The escrow agent will disburse funds and record documents for the proper recipients according to their written instructions.

What title insurance and escrow costs are incurred in a real estate sale?

The fee for escrow services is based on the sales price of the property. This fee is typically split equally between the Seller and Buyer. However, Buyers should check with their lenders if financing is involved because some federally insured lending programs do not allow borrowers to pay this fee. The Seller typically pays for a standard owner’s policy of title insurance which names the Buyer as the insured. Charges for this policy are based on the sales price of the property. The Buyer typically pays for a lender’s policy of title insurance and any required endorsements if s/he is obtaining a new loan to purchase the property. Charges for this policy are based on the loan amount.

What services does an escrow agent perform on behalf of the Seller and Buyer?

• Upon opening of escrow, escrow agent will order a preliminary title report, which will be sent to all interested parties involved in the transaction. The report will detail the current ownership, liens and encumbrances of the property.

• Closing statements will be prepared for each party, showing all credits and debits. The escrow agent will schedule appointments for all parties to sign their final necessary documents, including any funds needed to be deposited, to complete the transaction.

• Signed loan documents are returned to the Lender, for final review and funding approval.

• Recordable documents are released to the County Clerk’s office for recording.

• Once recorded, all funds are disbursed per written instructions.

• Final title policies are issued to the insured parties.

FROM PENDING TO SOLD

ESCROW FLOW CHART

Receive and review Earnest Money Agreement and Broker’s instructions.

Open escrow. Order title report.

Determine financing.

Information gathering from Buyer and Seller.

Receive title report. Send copies to all parties in the transaction.

Resolve any title issues. Order any payoff demands.

Review file. Are conditions satisfied? Contingencies removed?

Prepare closing statement, closing instructions and transfer deed

Obtain signatures on all escrow and loan documents. Collect any funds due from Buyer and/or Seller

Record applicable documents with the County Recorder's office.

Close file. Prepare final statements. Disburse funds.

Forward final documents to all interested parties - Buyer, Seller, Real Estate Agents, Lender, Broker, Attorney, etc.

NEW LOAN

Notify Escrow with name of new lender and loan officer.

Send title report to lender.

Notification of final loan approval. Are repairs complete?

Deliver Seller & Buyer Closing Disclosures. Buyers’ consummation 3-6 days.

Loan documents delivered to escrow.

Return loan documents for final approval to fund and record.

Order loan funds.

Turn static files into dynamic content formats.

Create a flipbook