Skip to main content

QR Homebook - 1245 SE 114th Place

Page 1


Portland, OR 97216

Subject Property

1245 SE 114th Pl, Portland OR 97216

County Name: Multnomah

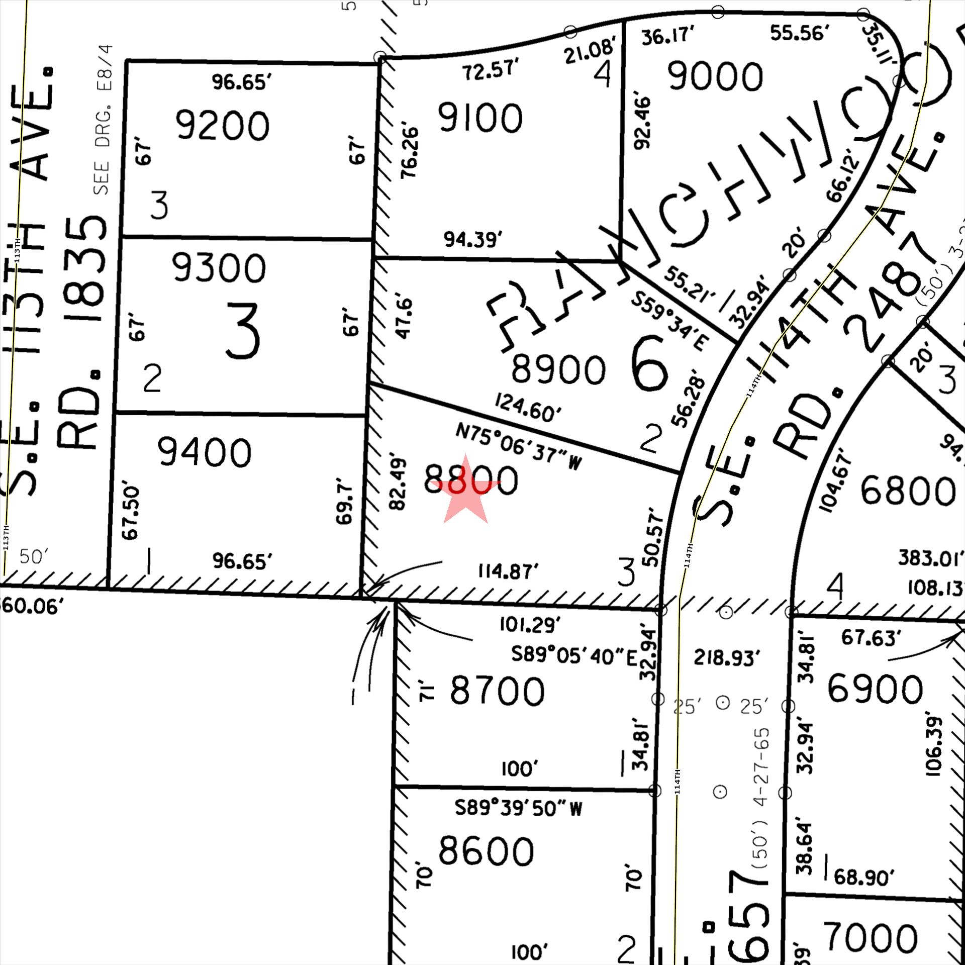
APN / Parcel Number: R252137

Current Ownership: Linda Bradshaw & Paulette Beasley

Site Address: 1245 SE 114th Pl, Portland OR 97216

Mail Address: 1245 SE 114th Pl, Portland OR 97216

*Owner Occupied

Tract / Subdivision: / Ranchwood

Census Tract / Block: 008203 / 3015

Lot / Block: 3 / 6

Twn / Rng / Sec / Qtr: 01S / 02E / 03 / NE

Brief Legal Description: RANCHWOOD, BLOCK 6, LOT 3

Sale Information

Sale Recording Date: 07/20/2006

Property Details

Title Company: FIDELITY NATIONAL TITLE CO

Sale Price: $290,000 Document #: 133637

Cost/SqFt: $136 41

Purchase Loan: $232,000

Property Characteristics

Property Type: Single Family Residential

Vesting:

Survivorship Martial Property (Wisconsin/Alaska with marital property system effective 01/01/1986. )

Buyer Name(s): Linda J Bradshaw and Paulette J Beasley

Land Use: Single-Family, Residential, Improved

Building Type: Single Family ResidentialZoning: Portland-R5 - Residential 5,000

Total SqFt: 2,126

Beds: 3

Baths: 2

Lot Size: 7,600 SqFt / 0.17 AC Year Built: 1957

Basement: 1,063 SqFt Units: 1

Pool:

Buildings: Rooms: Ext / Roof: Wood / Composition ShingleHeat/AC: Y

Stories: 1

Condition: Excellent Fireplace: Y

Garage: Att Foundation: View:

School District: DAVID DOUGLAS

Watershed: Columbia Slough-Willamette River

Assessment

& Tax Info

APN: R252137

Sentry Dynamics, Inc and its customers make no representations, warranties or conditions, express or implied, as to the accuracy or completeness of information contained in this report

Parcel ID: R252137

Parcel ID: R252137

SiteAddress: 1245 SE 114th Pl

Sentry Dynamics, Inc and its customers make no representations, warranties or conditions, express or implied, as to the accuracy or completeness of information contained in this report

Parcel ID: R252137

SiteAddress: 1245 SE 114th Pl

Sentry Dynamics, Inc and its customers make no representations, warranties or conditions, express or implied, as to the accuracy or completeness of information contained in this report

GENERALINFORMATION

Property Status AActive

Property Type RPResidential

Legal Description RANCHWOOD,BLOCK6,LOT3

Alternate Account Number R688301050

Neighborhood RB2060 Mall 205 Map Number 1S2E03AC-08800

Property Use B-RESIDENTIALIMPROVED

LevyCodeArea 113

OWNERINFORMATION

Owner Name BRADSHAW,LINDAJ&BEASLEY,PAULETTEJ

Mailing Address 1245SE114THPLPORTLAND,OR97216

RELATEDPROPERTIES

Split/Merge data prior to February 6, 2018 is not available online, please call Multnomah County Assessment & Taxation division.

Linked Properties -

Property Group ID -

Grouped Properties -

Split / Merge Date -

Split / Merge Accounts -

Split / Merge Message -

IMPROVEMENTS ? Expand/Collapse All

BSD BRADSHAW,LINDAJ& BEASLEY,PAULETTEJ

WD 1933NORTHEAST55THLLC

QCD ALEJOS,MARK&WENDY

BRADSHAW,LINDAJ& BEASLEY,PAULETTEJ

BRADSHAW,LINDAJ& BEASLEY,PAULETTEJ

1933NORTHEAST55THLLC

WD BOEHM,SONDRAJ&WILLIAM ALEJOS,MARK&WENDY

BSD WEBER,SONDRAJ

INST WEBER,SONDRAJ

BOEHM,SONDRAJ&WILLIAM

WEBER,SONDRAJ

WD JOHNDEERECOOF WEBER,MICHAELR

WD DAVIS,FRANKLINDETAL

JOHNDEERECOOF

If applicable, the described property is receiving special valuation based upon its use. Additional rollback taxes which may become due based on the provisions of the special valuation are not indicated in this listing.

2008008848 1/17/2008 -

2006133637 7/20/2006 $290,000

2006124932 7/7/2006 -

2005193729 9/29/2005 $219,800

2003213651 9/9/2003 -

98007827 -

BP21370896 8/1/1988 $58,500

BP21370895 8/1/1988 $58,250

SUMMARY ? Details

Eìective Date:

Age Distribution

PropertyAddress

City,State&Zip PORTLAND,OR97216-3531

County MULTNOMAHCOUNTY

MailingAddress 1245SE114THPL,PORTLAND,OR97216-3531

NearbyNeighbor#8

Address 1217SE114THPL,PORTLAND,OR97216

Owner DOCHOW,PHILIPN&SIBLEY,KELLY

ofCars

NearbyNeighbor#9

Address

ofCars

NearbyNeighbor#10

Address 1310SE114THAVE,PORTLAND,OR97216

Owner LAWRENCE,BRIAND&LAWRENCE,NATALIEZ

NearbyNeighbor#11

Address 1325SE114THAVE,PORTLAND,OR97216

NearbyNeighbor#13

Address 1235SE113THAVE,PORTLAND,OR97216

OUTOFORINCONNECTIONWITHTHISREPORT.ICEDOESNOTREPRESENTORWARRANTTHATTHEREPORTISCOMPLETEORFREEFROM ERROR.YOUUNDERSTANDANDACKNOWLEDGETHATTHEAVAILABILITY,COMPLETENESSANDFORMATOFTHEDATAELEMENTSMAYVARYSUBSTANTIALLYFROMAREA-TO-AREA.THEINFORMATION CONTAINEDINTHISREPORTISDERIVEDFROMPUBLICLYAVAILABLESOURCESFORTHESUBJECTPROPERTYORCOMPARABLEPROPERTIESLISTEDABOVEANDHASNOTBEENINDEPENDENTLYVERIFIEDBY ICETHROUGHANYFORMOFINSPECTIONORREVIEW THISREPORTDOESNOTCONSTITUTEANAPPRAISALOFANYKINDANDSHOULDNOTBEUSEDINLIEUOFANINSPECTIONOFASUBJECTPROPERTYBYA LICENSEDORCERTIFIEDAPPRAISER.THISREPORTCONTAINSNOREPRESENTATIONS,OPINIONSORWARRANTIESREGARDINGTHESUBJECTPROPERTY'SACTUALMARKETABILITY,CONDITION(STRUCTURAL OROTHERWISE),ENVIRONMENTAL,HAZARDORFLOODZONESTATUS,ANDANYREFERENCETOENVIRONMENTAL,HAZARDORFLOODZONESTATUSISFORINFORMATIONALPURPOSESONLYANDSHALLBE INDEPENDENTLYVERIFIEDBYTHEENDUSER.THEINFORMATIONCONTAINEDHEREINSHALLNOTBEUTILIZED:(A)TOREVIEWORESTABLISHACONSUMER'SCREDITAND/ORINSURANCEELIGIBILITYORFOR ANYOTHERPURPOSETHATWOULDCAUSETHEREPORTTOCONSTITUTEA"CONSUMERREPORT"UNDERTHEFAIRCREDITREPORTINGACT,15U.S.C.§1681ETSEQ.;OR(B)INCONNECTIONWITH CERTIFICATIONORAUTHENTICATIONOFREALESTATEOWNERSHIPAND/ORREALESTATETRANSACTIONS.ADDITIONALTERMSANDCONDITIONSSHALLAPPLYPURSUANTTOTHEAPPLICABLEAGREEMENT

Copyright CONFIDENTIAL,PROPRIETARYAND/ORTRADESECRET TMSM®TRADEMARK(S)OFINTERCONTINENTALEXCHANGE,INC.ANDITSSUBSIDIARIESANDAFFILIATES. ©2025INTERCONTINENTALEXCHANGE,INC.ALLRIGHTSRESERVED.

Area Schools

Assigned School

Primary School: Mill Park Elementary School

Middle School: Floyd Light Middle School

High School: David Douglas High School

Primary School

Mill Park Elementary School 2

Middle School

Floyd Light Middle School 1

High School

David Douglas High School 3

Other School

1. Floyd Light Middle School

Distance: 0.36 mile(s)

Address: 10800 Se Washington St District: David Douglas Sd 40 Type: 1-Regular school

Charter: No Magnet:

Title 1 Elig: 1-Yes

Male / Female: 331 / 296

2. Mill Park Elementary School

Title 1: 5-Title I schoolwide school

Students: 635

Grade Levels: 6th Grade - 8th Grade

Distance: 0.39 mile(s)

Address: 1900 Se 117Th Ave District: David Douglas Sd 40 Type: 1-Regular school

Charter: No Magnet:

Title 1 Elig: 1-Yes

Male / Female: 235 / 211

3. David Douglas High School

Students: 446

Title 1: 5-Title I schoolwide school Grade Levels: Prekindergarten5th Grade

Distance: 0.98 mile(s)

Address: 1001 Se 135Th Ave District: David Douglas Sd 40 Type: 1-Regular school

Charter: No

Title 1 Elig: 2-No

Male / Female: 1,377 / 1,294

Title 1: 6-Not a Title I school

Students: 2,698

Grade Levels: 9th Grade - 12th Grade

STEPS IN A REAL ESTATE TRANSACTION

1

What is an Escrow?

THE LISTING AGREEMENT

The property owner (Seller) initiates a contract, or a listing agreement, with a licensed Real Estate Agent.

2

THE SALE

Property owner (Seller) enters into a purchase contract, typically referred to as an Earnest Money Agreement, with a Buyer.

3

ESCROW

As part of the purchase contract, Seller agrees to purchase a title insurance policy for the Buyer and both agree to close the transaction with a licensed escrow company. In Oregon, most title insurance companies also offer escrow services to facilitate a convenient “one-stop” approach to closing real estate transactions.

An escrow is a neutral third party depository for legal documents and funds necessary to complete a real estate transaction. The escrow agent will disburse funds and record documents for the proper recipients according to their written instructions.

What title insurance and escrow costs are incurred in a real estate sale?

The fee for escrow services is based on the sales price of the property. This fee is typically split equally between the Seller and Buyer. However, Buyers should check with their lenders if financing is involved because some federally insured lending programs do not allow borrowers to pay this fee. The Seller typically pays for a standard owner’s policy of title insurance which names the Buyer as the insured. Charges for this policy are based on the sales price of the property. The Buyer typically pays for a lender’s policy of title insurance and any required endorsements if s/he is obtaining a new loan to purchase the property. Charges for this policy are based on the loan amount.

What services does an escrow agent perform on behalf of the Seller and Buyer?

• Upon opening of escrow, escrow agent will order a preliminary title report, which will be sent to all interested parties involved in the transaction. The report will detail the current ownership, liens and encumbrances of the property.

• Closing statements will be prepared for each party, showing all credits and debits. The escrow agent will schedule appointments for all parties to sign their final necessary documents, including any funds needed to be deposited, to complete the transaction.

• Signed loan documents are returned to the Lender, for final review and funding approval.

• Recordable documents are released to the County Clerk’s office for recording.

• Once recorded, all funds are disbursed per written instructions.

• Final title policies are issued to the insured parties.

FROM PENDING TO SOLD

ESCROW FLOW CHART

Receive and review Earnest Money Agreement and Broker’s instructions.

Open escrow. Order title report.

Determine financing.

Information gathering from Buyer and Seller.

Receive title report. Send copies to all parties in the transaction.

Resolve any title issues. Order any payoff demands.

Review file. Are conditions satisfied? Contingencies removed?

Prepare closing statement, closing instructions and transfer deed

Obtain signatures on all escrow and loan documents. Collect any funds due from Buyer and/or Seller

Record applicable documents with the County Recorder's office.

Close file. Prepare final statements. Disburse funds.

Forward final documents to all interested parties - Buyer, Seller, Real Estate Agents, Lender, Broker, Attorney, etc.

NEW LOAN

Notify Escrow with name of new lender and loan officer.

Send title report to lender.

Notification of final loan approval. Are repairs complete?

Deliver Seller & Buyer Closing Disclosures. Buyers’ consummation 3-6 days.

Loan documents delivered to escrow.

Return loan documents for final approval to fund and record.

Order loan funds.

Turn static files into dynamic content formats.

Create a flipbook