Skip to main content

Michael Sherry Hedges 4204 Riverview Dr Home Book

Page 1


Subject Property

County Name: Clackamas

APN / Parcel Number: 00414171

Current Ownership: Alan & Brenda Werrett

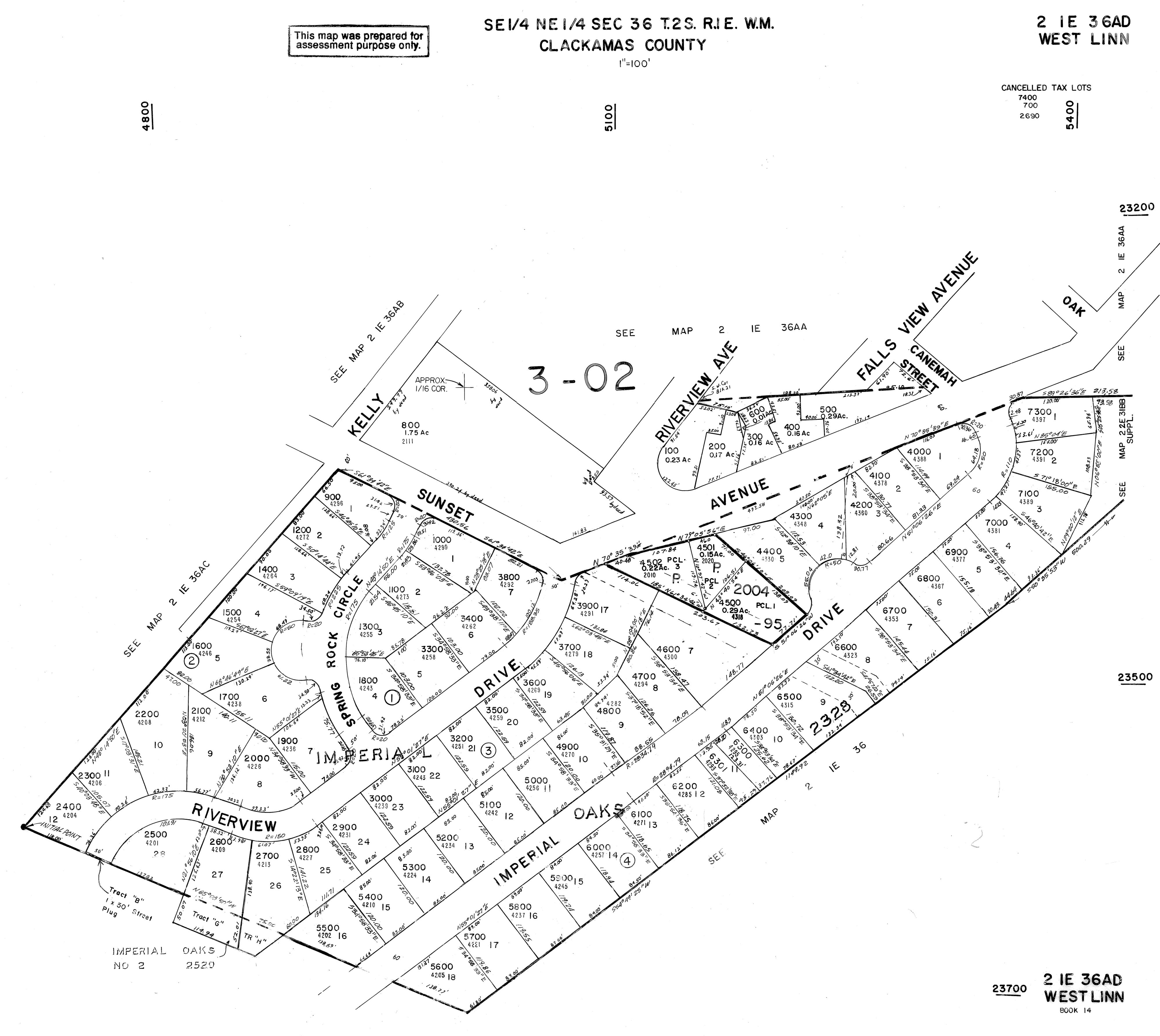
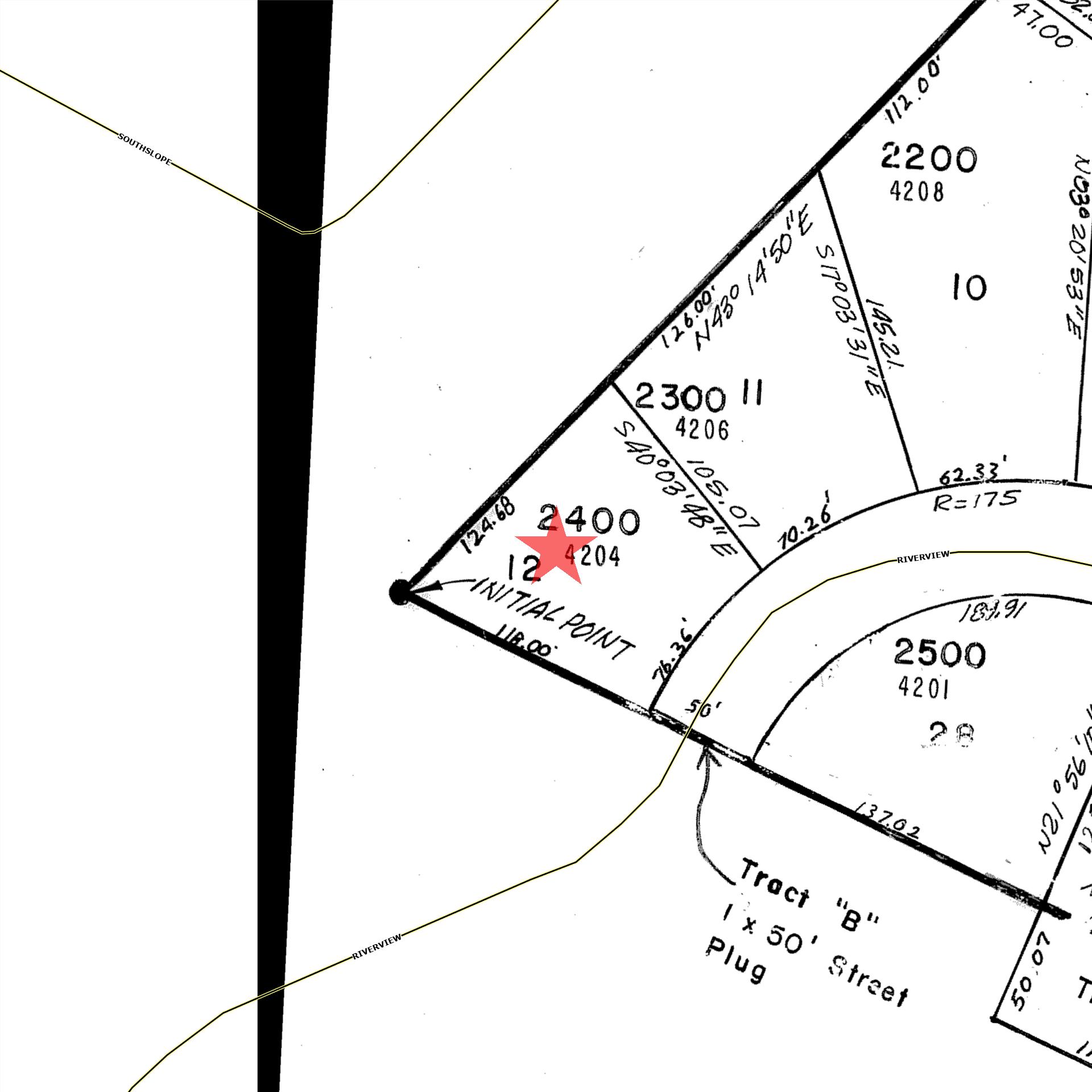
Site Address: 4204 Riverview Dr, West Linn OR 97068

Mail Address: 4204 River View Dr, West Linn OR 97068 *Owner Occupied

Tract / Subdivision: / Imperial Oaks

Census Tract / Block: 020602 / 1024

Lot / Block: 12 / 2

Twn / Rng / Sec / Qtr: 02S / 01E / 36 / NE

Brief Legal Description: 2328

Sale Information

Sale Recording Date: 08/01/1988

Company: Sale Price: $107,000

Property Characteristics

Beds: 5

1 Rooms:

Stories: 1

/ Roof: Combination / Wood Shake/ Shingles

APN: 00414171

Subject Property , West Linn OR 97068

County Name: Clackamas

APN / Parcel Number: 00416222

Current Ownership: Alan & Brenda Werrett

Site Address: , West Linn OR 97068

Mail Address: 4204 River View Dr, West Linn OR 97068 *Absentee Owner

Tract / Subdivision: / Imperial Oaks 02

Census Tract / Block: 020602 / 1024

Lot / Block: / 4

Twn / Rng / Sec / Qtr: 02S / 01E / 36 / NE

Brief Legal Description: 2520 IMPERIAL

Sale Information

Sale Recording Date: 03/01/1988

Property Characteristics

West

Property Details

APN: 00416222

This map/plat is being furnished as an aid in locating the herein described land in relation to adjoining streets, natural boundaries and other land, and is not a survey of the land depicted Except to the extent a policy of title insurance is expressly modified by endorsement, if any, the company does not insure dimensions, distances, location of easements, acreage or other matters shown thereon

Parcel ID: 00414171

SiteAddress: 4204 Riverview Dr

Sentry Dynamics, Inc and its customers make no representations, warranties or conditions, express or implied, as to the accuracy or completeness of information contained in this report

Parcel ID: 00414171

SiteAddress: 4204 Riverview Dr

Sentry Dynamics, Inc and its customers make no representations, warranties or conditions, express or implied, as to the accuracy or completeness of information contained in this report

This map/plat is being furnished as an aid in locating the herein described land in relation to adjoining streets, natural boundaries and other land, and is not a survey of the land depicted. Except to the extent a policy of title insurance is expressly modified by endorsement, if any, the company does not insure dimensions, distances, location of easements, acreage or other matters shown thereon. , West Linn OR 97068

Property Account Summary

AccountNumber 00414171

GeneralInformation

AlternateProperty#

PropertyDescription

LastSalePrice

LastSaleDate

LastSaleExciseNumber

PropertyCategory

Remarks

Characteristics

Parents

ParcelNo. Seg/MergeNo.

No Parents Found

Children

ParcelNo. Seg/MergeNo.

No Children Found

ActiveExemptions

No Exemptions Found

Events

04/05/2004 04/05/2004 10:05:00

07/01/1999

Receipts

12:00:00

No Sales History Found PropertyDetails

(ReceiptDetail.aspx? receiptnumber=5389993)

(ReceiptDetail.aspx? receiptnumber=5202753)

Detailed Statement

PropertyAccountSummary

Account

General Information

AlternateProperty# 21E36DB04100

PropertyDescription 2520IMPERIALOAKS#2TRACTEBLK4

PropertyCategory Land&/orBuildings Status Active,LocallyAssessed

Remarks

Property Characteristics

Mkt Exception

AV Exception

Active Exemptions

No Exemptions Found Events

04/05/2004 04/05/2004 10:05:00 Annexation Completed For Property Annex to TVFR, Ord 03-13 for 2004-Revise TCA Membership by JENMAYO

07/01/1999 07/01/1999 12:00:00 Ownership at Conversion Warranty Deed: 88-36066, , $ 0 Tax Balance Installments

No Records Found

InstallmentsPayable/PaidforTaxYear(Enter4-digitYear,thenClick-Here): 2025 Receipts

Age Distribution

Area Schools

Assigned School

Primary School: Sunset Primary School

Middle School: Rosemont Ridge Middle School

High School: West Linn High School

Primary School

Sunset Primary School 1

Middle School

Rosemont Ridge Middle School 2

High School

1. Sunset Primary School

Distance: 0.45 mile(s)

Address: 2351 Oxford St District: West Linn-Wilsonville Sd 3J Type: 1-Regular school

Charter: No

Title 1 Elig: 2-No

Male / Female: 181 / 195

2. Rosemont Ridge Middle School

Students: 376

Title 1: 6-Not a Title I school Grade Levels: Prekindergarten5th Grade

Distance: 1.37 mile(s)

Address: 20001 Salamo Rd District: West Linn-Wilsonville Sd 3J Type: 1-Regular school

Charter: No Magnet:

Title 1 Elig: 2-No

Male / Female: 356 / 378

Students: 737

Title 1: 6-Not a Title I school Grade Levels: 6th Grade - 8th Grade

Scan QR Code for CC&Rs

CC&Rs: Imperial Oaks

STEPS IN A REAL ESTATE TRANSACTION

1

What is an Escrow?

THE LISTING AGREEMENT

The property owner (Seller) initiates a contract, or a listing agreement, with a licensed Real Estate Agent.

2

THE SALE

Property owner (Seller) enters into a purchase contract, typically referred to as an Earnest Money Agreement, with a Buyer.

3

ESCROW

As part of the purchase contract, Seller agrees to purchase a title insurance policy for the Buyer and both agree to close the transaction with a licensed escrow company. In Oregon, most title insurance companies also offer escrow services to facilitate a convenient ā€œone-stopā€ approach to closing real estate transactions.

An escrow is a neutral third party depository for legal documents and funds necessary to complete a real estate transaction. The escrow agent will disburse funds and record documents for the proper recipients according to their written instructions.

What title insurance and escrow costs are incurred in a real estate sale?

The fee for escrow services is based on the sales price of the property. This fee is typically split equally between the Seller and Buyer. However, Buyers should check with their lenders if financing is involved because some federally insured lending programs do not allow borrowers to pay this fee. The Seller typically pays for a standard owner’s policy of title insurance which names the Buyer as the insured. Charges for this policy are based on the sales price of the property. The Buyer typically pays for a lender’s policy of title insurance and any required endorsements if s/he is obtaining a new loan to purchase the property. Charges for this policy are based on the loan amount.

What services does an escrow agent perform on behalf of the Seller and Buyer?

• Upon opening of escrow, escrow agent will order a preliminary title report, which will be sent to all interested parties involved in the transaction. The report will detail the current ownership, liens and encumbrances of the property.

• Closing statements will be prepared for each party, showing all credits and debits. The escrow agent will schedule appointments for all parties to sign their final necessary documents, including any funds needed to be deposited, to complete the transaction.

• Signed loan documents are returned to the Lender, for final review and funding approval.

• Recordable documents are released to the County Clerk’s office for recording.

• Once recorded, all funds are disbursed per written instructions.

• Final title policies are issued to the insured parties.

FROM PENDING TO SOLD

ā„¢

ESCROW FLOW CHART

Receive and review Earnest Money Agreement and Broker’s instructions.

Open escrow. Order title report.

Determine financing.

Information gathering from Buyer and Seller.

Receive title report. Send copies to all parties in the transaction.

Resolve any title issues. Order any payoff demands.

Review file. Are conditions satisfied? Contingencies removed?

Prepare closing statement, closing instructions and transfer deed

Obtain signatures on all escrow and loan documents. Collect any funds due from Buyer and/or Seller

Record applicable documents with the County Recorder's office.

Close file. Prepare final statements. Disburse funds.

Forward final documents to all interested parties - Buyer, Seller, Real Estate Agents, Lender, Broker, Attorney, etc.

NEW LOAN

Notify Escrow with name of new lender and loan officer.

Send title report to lender.

Notification of final loan approval. Are repairs complete?

Deliver Seller & Buyer Closing Disclosures. Buyers’ consummation 3-6 days.

Loan documents delivered to escrow.

Return loan documents for final approval to fund and record.

Order loan funds.

Turn static files into dynamic content formats.

CreateĀ aĀ flipbook
Michael Sherry Hedges 4204 Riverview Dr Home Book by Lawyers Title Oregon - Issuu