Skip to main content

Homebook for 8996 SE Bristol Park Dr

Page 1

8996 SE Bristol Park Dr Happy Valley, OR 97086
Eikrem Windermere Realty Trust 2045 NE MLK Jr Blvd Portland, OR 97212
Scarlet

Property Profile HOMEBOOK

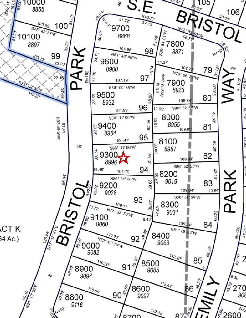
ClackamasCountyParcelInformation

Parcel#:01752008

TaxLot:12E28AD09300

SiteAddress:8996SEBristolParkDr

HappyValleyOR97086-9139

Owner:Delarosa,Mario

Owner2:Delarosa,Veronika

OwnerAddress:8996SEBristolParkDr

HappyValleyOR97086-9139

Twn/Range/Section:01S/02E/28/NW

ParcelSize:012Acres(5,301SqFt)

Plat/Subdivision:Altamont

Lot:94

Block:

MapPage/Grid:657-H1

CensusTract/Block:022206/2005

Waterfront:

BuildingUse:RS0-SingleFamily

CntyLandUse:101-Residentiallandimproved

Zoning:ClackamasCo-R15-LowDensitySingle FamilyResidential

Watershed:JohnsonCreek-WillametteRiver

PrimarySchool:MOUNTSCOTTELEMENTARYSCHOOL

HighSchool:CLACKAMASHIGHSCHOOL

LevyCodeArea:012-073

LevyRate:182565

TaxYear:2022

AnnualTax:$7,55194

ExemptDescription:

Legal

3322ALTAMONTLT94|Y|184,366

MarketValueLand: $242,31500

MarketValueImpr: $492,99000

MarketValueTotal: $735,30500

AssessedValue: $407,46800

YearBuilt:1997

Bedrooms:3

ExteriorWallType:Clapboard

Stories:2

Bathrooms:25

LandUseStd:RSFR-SingleFamilyResidence

Neighborhood:Sunnyside-WestMtScott

SchoolDistrict:12-NorthClackamas

MiddleSchool:HAPPYVALLEYMIDDLESCHOOL

Fin SqFt:2,680

Garage:

BasementFin SqFt: Fireplace:1

Heat:ForcedAirGas RoofType-Cover:Composition

TransferInformation

LoanDate:11/26/2012

LoanAmt:$234,70000

DocNum:2012-077353

LoanType: FinanceType:Conventional Lender:PRIMELNDG

Rec Date:12/01/2008

Owner:MarioDelarosa

Orig LoanAmt:$276,00000

FinanceType:

SalePrice:$345,00000

DocNum:2008-079745

DocType:DeedOfTrust

DocType:Deed

Grantor:DEUTSCHEBKNTRUST2006-WM4

TitleCo:FIDELITYNATIONALTITLECO

LoanType:Conventional Lender:SUNSETMTG

SentryDynamics,Inc anditscustomersmakenorepresentations,warrantiesorconditions,expressorimplied,astotheaccuracyor completenessofinformationcontainedinthisreport

ParcelInformation TaxInformation AssessmentInformation Land Improvement

Thismap/platisbeingfurnishedasanaidinlocatingthehereindescribedLandinrelationtoadjoiningstreets,naturalboundariesandotherland,andisnotasurveyofthe landdepicted.Excepttotheextentapolicyoftitleinsuranceisexpresslymodifiedbyendorsement,ifany,theCompanydoesnotinsuredimensions,distances,locationof easements,acreageorothermattersshownthereon.

Thismap/platisbeingfurnishedasanaidinlocatingthehereindescribedLandinrelationtoadjoiningstreets,naturalboundariesandotherland,andisnotasurveyofthe landdepicted.Excepttotheextentapolicyoftitleinsuranceisexpresslymodifiedbyendorsement,ifany,theCompanydoesnotinsuredimensions,distances,locationof easements,acreageorothermattersshownthereon.

Property Account Summary

GeneralInformation AlternateProperty# 12E28AD09300 PropertyDescription 3322ALTAMONTLT94 LastSalePrice $345,00000 LastSaleDate 12/08/2008 LastSaleExciseNumber 183816 PropertyCategory Land&/orBuildings Status Active,LocallyAssessed TaxCodeArea 012-073 Remarks TaxRate Description Rate Total Rate 18.2565 PropertyCharacteristics Neighborhood 11071: Sunnyside subdivisions 100, 101 Land Class Category 101: Residential land improved Building Class Category 15: Single family res, class 5 Year Built 1997 Change property ratio 1XX Parties Role Percent Name Address Taxpayer 100 DELAROSA MARIO & VERONIKA 8996 SE BRISTOL PARK DR, HAPPY VALLEY, OR 97086 Tax Service Co. 100 WELLS FARGO REAL ESTATE TAX SERVICE LLC 1 HOME CAMPUS MAC X2502-011, DES MOINES, IA 50328 Owner 100 DELAROSA MARIO & VERONIKA 8996 SE BRISTOL PARK DR, HAPPY VALLEY, OR 97086 Mortgage Company 100 WELLS FARGO REAL ESTATE TAX SERVICE 1 HOME CAMPUS MAC X2502-011, DES MOINES, IA 50328 PropertyValues ValueType TaxYear 2022 TaxYear 2021 TaxYear 2020 TaxYear 2019 TaxYear 2018 AVR Total $407,468 $395,600 $384,078 $372,892 $362,031 Exempt TVR Total $407,468 $395,600 $384,078 $372,892 $362,031 Real Mkt Land $242,315 $205,555 $183,799 $178,547 $171,796 Real Mkt Bldg $492,990 $418,870 $378,140 $368,370 $358,950 Real Mkt Total $735,305 $624,425 $561,939 $546,917 $530,746 M5 Mkt Land $242,315 $205,555 $183,799 $178,547 $171,796 M5 Mkt Bldg $492,990 $418,870 $378,140 $368,370 $358,950 M5 SAV SAVL (MAV Use Portion) MAV (Market Portion) $407,468 $395,600 $384,078 $372,892 $362,031 Mkt Exception AV Exception AccountNumber 01752008 PropertyAddress 8996 SE BRISTOL PARK DR , HAPPY VALLEY, OR 97086

NoChargesarecurrentlydue.Ifyoubelievethisisincorrect,pleasecontacttheAssessor'sOice.

Parents ParcelNo. Seg/MergeNo. Status FromDate ToDate Continued DocumentNumber No Parents Found Children ParcelNo. Seg/MergeNo. Status FromDate ToDate DocumentNumber No Children Found ActiveExemptions No Exemptions Found Events Effective Date EntryDate-Time Type Remarks 12/01/2008 12/08/2008 12:14:00 Recording Processed Property Transfer Filing No.: 183816, Warranty Deed, Recording No.: 2008-079745 12/01/2008 by LAURIEB 12/01/2008 12/08/2008 12:14:00 Taxpayer Changed Property Transfer Filing No.: 183816 12/01/2008 by LAURIEB 10/07/2008 10/07/2008 09:33:00 Taxpayer Changed Party/Property Relationship by LINDADUN 05/27/2008 06/17/2008 12:46:00 Recording Processed Property Transfer Filing No.: 177239, Trustee Deed, Recording No.: 2008-038360 05/27/2008 by ROMANSIE 05/27/2008 06/17/2008 12:46:00 Taxpayer Changed Property Transfer Filing No.: 177239 05/27/2008 by ROMANSIE 08/14/2006 08/21/2006 12:31:00 Recording Processed Property Transfer Filing No.: 146528, Warranty Deed, Recording No.: 2006-074622 08/14/2006 by LYNNENEW 08/14/2006 08/21/2006 12:31:00 Taxpayer Changed Property Transfer Filing No.: 146528 08/14/2006 by LYNNENEW 07/01/1999 07/01/1999 12:00:00 Ownership at Conversion Warranty Deed: 99-25015, 3/1/99, $ 266900 TaxBalance TotalDueonlyincludesthecurrent2022taxes PleaseselectViewDetailedStatementforafullpayo InstallmentsPayable/PaidforTaxYear(Enter4-digitYear,thenClick-Here): 2022 Receipts Date ReceiptNo. AmountAppliedto Parcel TotalAmount Due Receipt Total Change 11/09/2022 00:00:00 5232603 (ReceiptDetail.aspx? receiptnumber=5232603) $7,551.94 $7,551.94 $7,325.38 $0.00 11/08/2021 00:00:00 5047301 (ReceiptDetail.aspx? receiptnumber=5047301) $7,278.71 $7,278.71 $7,060.35 $0.00 11/13/2020 00:00:00 4934523 (ReceiptDetail.aspx? receiptnumber=4934523) $7,047.85 $7,047.85 $6,836.41 $0.00 11/06/2019 00:00:00 4662195 (ReceiptDetail.aspx? receiptnumber=4662195) $6,953.30 $6,953.30 $6,744.70 $0.00 11/06/2018 00:00:00 4470823 (ReceiptDetail.aspx? receiptnumber=4470823) $6,091.63 $6,091.63 $5,908.88 $0.00 SalesHistory SaleDate EntryDate Recording Date Recording Number Sale Amount Excise Number Deed Type Transfer Type Grantor(Seller) Grantee(Buyer) Other Parcels 11/13/2008 12/08/2008 12/01/2008 2008079745 $345,000.00 183816 S DEUTSCHE BANK NATIONAL TRUST CO TRUS DELAROSA MARIO & VERONIKA No 05/19/2008 06/17/2008 05/27/2008 2008038360 $331,113.00 177239 S VO VIVIAN UYEN DEUTSCHE BANK NATIONAL TRUST CO No 08/09/2006 08/21/2006 08/14/2006 2006074622 $436,800.00 146528 S FINLAYSON BRIAN T & SUSAN-WARREN VO VIVIAN UYEN No PropertyDetails LivingAreaSqFt ManfStructSize YearBuilt ImprovementGrade Stories Bedrooms FullBaths HalfBaths
2680 0 X 0 1997 55 1.0 3 2 1

Detailed Statement

AsOf
Date: 4/24/2023
TaxYear Category TCA/District Charged Minimum BalanceDue DueDate 1997 PropertyTaxPrincipal 012-073 $585.77 $0.00 $0.00 11/15/1997 1998 PropertyTaxPrincipal 012-073 $2,047.44 $0.00 $0.00 11/15/1998 1998 SpecialAssessmentCreatedFromConversion 012-073 $0.00 $0.00 $0.00 11/15/1998 1999 LightingDistrictPrincipal LGTCLA005 $91.50 $0.00 $0.00 11/15/1999 1999 PropertyTaxPrincipal 012-073 $3,295.60 $0.00 $0.00 11/15/1999 2000 LightingDistrictPrincipal LGTCLA005 $91.50 $0.00 $0.00 11/15/2000 2000 PropertyTaxPrincipal 012-073 $3,226.37 $0.00 $0.00 11/15/2000 2001 LightingDistrictPrincipal LGTCLA005 $91.50 $0.00 $0.00 11/15/2001 2001 PropertyTaxPrincipal 012-073 $3,290.26 $0.00 $0.00 11/15/2001 2002 LightingDistrictPrincipal LGTCLA005 $91.50 $0.00 $0.00 11/15/2002 2002 PropertyTaxPrincipal 012-073 $3,350.89 $0.00 $0.00 11/15/2002 2003 LightingDistrictPrincipal LGTCLA005 $128.88 $0.00 $0.00 11/15/2003 2003 PropertyTaxPrincipal 012-073 $3,456.92 $0.00 $0.00 11/15/2003 2004 LightingDistrictPrincipal LGTCLA005 $128.88 $0.00 $0.00 11/15/2004 2004 PropertyTaxPrincipal 012-073 $3,524.10 $0.00 $0.00 11/15/2004 2005 LightingDistrictPrincipal LGTCLA005 $128.88 $0.00 $0.00 11/15/2005 2005 PropertyTaxPrincipal 012-073 $3,631.55 $0.00 $0.00 11/15/2005 2005 SewerDistrictPrincipal SVCCC0001 $504.68 $0.00 $0.00 11/15/2005 2006 LightingDistrictPrincipal LGTCLA005 $128.88 $0.00 $0.00 11/15/2006 2006 PropertyTaxInterest 012-073 $245.62 $0.00 $0.00 11/15/2007 2006 PropertyTaxInterest LGTCLA005 $8.60 $0.00 $0.00 11/15/2007 2006 PropertyTaxInterest SVCCC0001 $29.20 $0.00 $0.00 11/15/2007 2006 PropertyTaxPrincipal 012-073 $3,684.37 $0.00 $0.00 11/15/2006 2006 SewerDistrictPrincipal SVCCC0001 $437.97 $0.00 $0.00 11/15/2006 2007 LightingDistrictPrincipal LGTCLA005 $128.88 $0.00 $0.00 11/15/2007 2007 PropertyTaxPrincipal 012-073 $4,121.73 $0.00 $0.00 11/15/2007 2008 LightingDistrictPrincipal LGTCLA005 $113.41 $0.00 $0.00 11/15/2008 2008 PropertyTaxPrincipal 012-073 $4,209.69 $0.00 $0.00 11/15/2008 2009 LightingDistrictPrincipal LGTCLA005 $113.41 $0.00 $0.00 11/15/2009 2009 PropertyTaxPrincipal 012-073 $4,489.21 $0.00 $0.00 11/15/2009 2010 LightingDistrictPrincipal LGTCLA005 $115.93 $0.00 $0.00 11/15/2010 2010 PropertyTaxPrincipal 012-073 $4,627.57 $0.00 $0.00 11/15/2010 2011 LightingDistrictPrincipal LGTCLA005 $113.00 $0.00 $0.00 11/15/2011 2011 PropertyTaxPrincipal 012-073 $4,903.78 $0.00 $0.00 11/15/2011 2012 LightingDistrictPrincipal LGTCLA005 $117.52 $0.00 $0.00 11/15/2012 2012 PropertyTaxPrincipal 012-073 $4,827.03 $0.00 $0.00 11/15/2012 2013 LightingDistrictPrincipal LGTCLA005 $111.40 $0.00 $0.00 11/15/2013 2013 PropertyTaxPrincipal 012-073 $4,901.24 $0.00 $0.00 11/15/2013 2014 LightingDistrictPrincipal LGTCLA005 $118.08 $0.00 $0.00 11/15/2014 2014 PropertyTaxPrincipal 012-073 $5,111.02 $0.00 $0.00 11/15/2014 2015 LightingDistrictPrincipal LGTCLA005 $124.57 $0.00 $0.00 11/15/2015 2015 PropertyTaxPrincipal 012-073 $5,407.31 $0.00 $0.00 11/15/2015 2016 LightingDistrictPrincipal LGTCLA005 $124.57 $0.00 $0.00 11/15/2016 2016 PropertyTaxPrincipal 012-073 $5,567.89 $0.00 $0.00 11/15/2016 2017 LightingDistrictPrincipal LGTCLA005 $122.08 $0.00 $0.00 11/15/2017 2017 PropertyTaxPrincipal 012-073 $5,777.16 $0.00 $0.00 11/15/2017 ParcelNumber 01752008 PropertyAddress 8996 SE BRISTOL PARK DR , HAPPY VALLEY, OR 97086
2018 LightingDistrictPrincipal LGTCLA005 $119.64 $0.00 $0.00 11/15/2018 2018 PropertyTaxPrincipal 012-073 $5,971.99 $0.00 $0.00 11/15/2018 2019 LightingDistrictPrincipal LGTCLA005 $119.64 $0.00 $0.00 11/15/2019 2019 PropertyTaxPrincipal 012-073 $6,833.66 $0.00 $0.00 11/15/2019 2020 LightingDistrictPrincipal LGTCLA005 $119.64 $0.00 $0.00 11/15/2020 2020 PropertyTaxPrincipal 012-073 $6,928.21 $0.00 $0.00 11/15/2020 2021 LightingDistrictPrincipal LGTCLA005 $114.00 $0.00 $0.00 11/15/2021 2021 PropertyTaxPrincipal 012-073 $7,164.71 $0.00 $0.00 11/15/2021 2022 LightingDistrictPrincipal LGTCLA005 $113.00 $0.00 $0.00 11/15/2022 2022 PropertyTaxPrincipal 012-073 $7,438.94 $0.00 $0.00 11/15/2022 TOTAL Due as of 04/24/2023 $0.00
Utilities
HOMEBOOK

Please Use/Click on this Digital Utility Link

Most utility service providers require you to go online, fill out a form and e-mail back, or use their online service.

Neighborhood Information HOMEBOOK

Nearby Neighbors Report

Page 1
Subject Property Location Report Date: 04/24/2023 Property Address 8996 SE BRISTOL PARK DR Order ID: R113440948 City, State & Zip HAPPY VALLEY, OR 97086-9139 County CLACKAMAS COUNTY Property Use Single Family Residential Mailing Address 8996 SE BRISTOL PARK DR, HAPPY VALLEY, OR 97086-9139 Parcel Number 12E28AD09300 Subject Property Address 8996 SE BRISTOL PARK DR, HAPPY VALLEY, OR 97086 APN 12E28AD09300 Owner DELAROSA MARIO & VERONIKA Lot Size (SF/AC) Bedrooms 3 Year Built 1997 Living Area (SF) 2,680 Bathrooms/Partial 2/1 Garage/No. of Cars Garage/2 Phones (503) 408-1016 Nearby Neighbor #1 Address 8964 SE BRISTOL PARK DR, HAPPY VALLEY, OR 97086 APN 12E28AD09400 Owner ROBBINS REV LIV TRUST Lot Size (SF/AC) Bedrooms 0 Year Built 1998 Living Area (SF) 2,548 Bathrooms/Partial 2/1 Garage/No. of Cars Garage/2 Phones (503) 757-8092 Nearby Neighbor #2 Address 9028 SE BRISTOL PARK DR, HAPPY VALLEY, OR 97086 APN 12E28AD09200 Owner NGUYEN CHI NGOC BAO; DOAN VINCENT Lot Size (SF/AC) Bedrooms 0 Year Built 1998 Living Area (SF) 1,786 Bathrooms/Partial 2 Garage/No. of Cars Garage/2 Phones Nearby Neighbor #3 Address 8932 SE BRISTOL PARK DR, HAPPY VALLEY, OR 97086 APN 12E28AD09500 Owner LIU, JIANQIANG Lot Size (SF/AC) Bedrooms 3 Year Built 1997 Living Area (SF) 2,685 Bathrooms/Partial 2/1 Garage/No. of Cars Garage/2 Phones Nearby Neighbor #4 Address 8987 SE EMILY PARK WAY, HAPPY VALLEY, OR 97086 APN 12E28AD08100 Owner POON JOHN K & KIM POONCHEN Lot Size (SF/AC) Bedrooms 3 Year Built 1997 Living Area (SF) 2,088 Bathrooms/Partial 2/1 Garage/No. of Cars Garage/2 Phones Nearby Neighbor #5 Address 9060 SE BRISTOL PARK DR, HAPPY VALLEY, OR 97086 APN 12E28AD09100 Owner PURI, SATISH; PURI, MEENA Lot Size (SF/AC) Bedrooms 3 Year Built 1998 Living Area (SF) 1,786 Bathrooms/Partial 2 Garage/No. of Cars Garage/2 Phones (503) 772-9955 Nearby Neighbor #6 Address 9019 SE EMILY PARK WAY, HAPPY VALLEY, OR 97086 APN 12E28AD08200 Owner SALVATION ARMY Lot Size (SF/AC) Bedrooms 3 Year Built 1997 Living Area (SF) 2,378 Bathrooms/Partial 2/1 Garage/No. of Cars Garage/3 Phones
Page 2 Nearby Neighbor #7 Address 8955 SE EMILY PARK WAY, HAPPY VALLEY, OR 97086 APN 12E28AD08000 Owner HUYNH LEN SOC & MUOI LAM Lot Size (SF/AC) Bedrooms 4 Year Built 1997 Living Area (SF) 2,503 Bathrooms/Partial 3 Garage/No. of Cars Garage/2 Phones Nearby Neighbor #8 Address 9031 SE EMILY PARK WAY, HAPPY VALLEY, OR 97086 APN 12E28AD08300 Owner WONG WING HO & SOU NGAR Lot Size (SF/AC) Bedrooms 0 Year Built 1998 Living Area (SF) 2,101 Bathrooms/Partial 2/1 Garage/No. of Cars Garage/2 Phones Nearby Neighbor #9 Address 8900 SE BRISTOL PARK DR, HAPPY VALLEY, OR 97086 APN 12E28AD09600 Owner YANG JIANJI; WANG YIZHI Lot Size (SF/AC) Bedrooms 0 Year Built 1998 Living Area (SF) 2,101 Bathrooms/Partial 2/1 Garage/No. of Cars Garage/2 Phones Nearby Neighbor #10 Address 8923 SE EMILY PARK WAY, HAPPY VALLEY, OR 97086 APN 12E28AD07900 Owner CONNOR ROSS & JESSICA L; CONNOR MICHAEL D & ELIZABETH O Lot Size (SF/AC) Bedrooms 4 Year Built 1997 Living Area (SF) 2,525 Bathrooms/Partial 3 Garage/No. of Cars Garage/2 Phones Nearby Neighbor #11 Address 9082 SE BRISTOL PARK DR, HAPPY VALLEY, OR 97086 APN 12E28AD09000 Owner SULLIVAN GAIL LYNN Lot Size (SF/AC) Bedrooms 0 Year Built 1998 Living Area (SF) 1,786 Bathrooms/Partial 2 Garage/No. of Cars Garage/2 Phones Nearby Neighbor #12 Address 9063 SE EMILY PARK WAY, HAPPY VALLEY, OR 97086 APN 12E28AD08400 Owner SHORT KIMBERLY & MICHAEL Lot Size (SF/AC) Bedrooms 0 Year Built 1998 Living Area (SF) 2,548 Bathrooms/Partial 2/1 Garage/No. of Cars Garage/2 Phones Nearby Neighbor #13 Address 9094 SE BRISTOL PARK DR, HAPPY VALLEY, OR 97086 APN 12E28AD08900 Owner BUI, GWEN Lot Size (SF/AC) Bedrooms 0 Year Built 1998 Living Area (SF) 1,786 Bathrooms/Partial 2 Garage/No. of Cars Garage/2 Phones Nearby Neighbor #14 Address 9085 SE EMILY PARK WAY, HAPPY VALLEY, OR 97086 APN 12E28AD08500 Owner WOODHOUSE MATTHEW JAMES Lot Size (SF/AC) Bedrooms 0 Year Built 1998 Living Area (SF) 2,548 Bathrooms/Partial 2/1 Garage/No. of Cars Garage/2 Phones

Disclaimer

THIS REPORT IS INTENDED FOR USE BY YOU AS AN END USER SOLELY FOR YOUR INTERNAL BUSINESS PURPOSES. YOU SHALL NOT RESELL, RELICENSE OR REDISTRIBUTE THIS REPORT, IN WHOLE OR IN PART. THE USE OF THIS REPORT BY ANY PARTY OTHER THAN YOURSELF FOR ANY PURPOSE IS STRICTLY PROHIBITED. THIS REPORT IS PROVIDED AS-IS WITHOUT WARRANTY OF ANY KIND, EITHER EXPRESS OR IMPLIED, INCLUDING WITHOUT LIMITATION, ANY WARRANTIES OF MERCHANTABILITY, NON-INFRINGEMENT, OR FITNESS FOR A PARTICULAR PURPOSE. BLACK KNIGHT SHALL HAVE NO LIABILITY IN CONTRACT, TORT, OR OTHERWISE ARISING OUT OF OR IN CONNECTION WITH THIS REPORT. BLACK KNIGHT DOES NOT REPRESENT OR WARRANT THAT THE REPORT IS COMPLETE OR FREE FROM ERROR. YOU UNDERSTAND AND ACKNOWLEDGE THAT THE AVAILABILITY, COMPLETENESS AND FORMAT OF THE DATA ELEMENTS MAY VARY SUBSTANTIANLLY FROM AREA-TO-AREA. THE INFORMATION CONTAINED IN THIS REPORT IS DERIVED FROM PUBLICLY AVAILABLE SOURCES FOR THE SUBJECT PROPERTY OR COMPARABLE PROPERTIES LISTED ABOVE AND HAS NOT BEEN INDEPENDENT VERIFIED BY BLACK KNIGHT THROUGH ANY FORM OF INSPECTION OR REVIEW. THIS REPORT DOES NOT CONSTITUTE AN APPRAISAL OF ANY KIND AND SHOULD NOT BE USED IN LIEU OF AN INSPECTION OF A SUBJECT PROPERTY BY A LICENSED OR CERTIFIED APPRAISER. THIS REPORT CONTAINS NO REPRESENTATIONS, OPINIONS OR WARRANTIES REGARDING THE SUBJECT PROPERTY'S ACTUAL MARKETABILITY, CONDITION (STRUCTURAL OR OTHERWISE), ENVIRONMENTAL, HAZARD OR FLOOD ZONE STATUS, AND ANY REFERENCE TO ENVIRONMENTAL, HAZARD OR FLOOD ZONE STATUS IS FOR INFORMATIONAL PURPOSES ONLY AND SHALL BE INDEPENDENTLY VERIFIED BY THE END USER. THE INFORMATION CONTAINED HEREIN SHALL NOT BE UTILIZED: (A) TO REVIEW OR ESTABLISH A CONSUMER'S CREDIT AND/OR INSURANCE ELIGIBILITY OR FOR ANY OTHER PURPOSE THAT WOULD CAUSE THE REPORT TO CONSTITUTE A "CONSUMER REPORT" UNDER THE FAIR CREDIT REPORTING ACT, 15 U.S.C. § 1681 ET SEQ.; OR (B) IN CONNECTION WITH CERTIFICATION OR AUTHENTICATION OF REAL ESTATE OWNERSHIP AND/OR REAL ESTATE TRANSACTIONS. ADDITIONAL TERMS AND CONDITIONS SHALL APPLY PURSUANT TO THE APPLICABLE AGREEMENT.

Copyright

CONFIDENTIAL, PROPRIETARY AND/OR TRADE SECRET. TM SM ® TRADEMARK(S) OF BLACK KNIGHT IP HOLDING COMPANY, LLC, OR AN AFFILIATE. © 2023 BLACK KNIGHT TECHNOLOGIES, LLC. ALL RIGHTS RESERVED.

Page 3
APN 12E28AD07800 Owner WONG
Lot Size (SF/AC) Bedrooms 0 Year Built 1997 Living Area (SF) 2,575 Bathrooms/Partial 2/1 Garage/No. of Cars Garage/2 Phones (503) 775-1972
Nearby Neighbor #15 Address 8871 SE EMILY PARK WAY, HAPPY VALLEY, OR 97086
CHUN LAP; WONG LILLY

School Information HOMEBOOK

ClickHereforthe OregonSchoolReportCards

School Information

Centennial

North

David

Gresham

Banks 503 . 324 . 8591 | www.banks.k12.or.us Beaverton 503 672 3721 | www.beaverton.k12.or.us
503 266 7861 | boundaries: 503 266 2064 | www.canby.k12.or.us
Canby
503 760 7990 | www.centennial.k12.or.us
Clackamas 503 . 653 . 6000 | boundaries: 503 . 353 . 6119 | www.nclack.k12.or.us
503 824 3535 | boundaries: 503 824 3534 | www.colton.k12.or.us
Colton
Douglas 503 . 252 . 7990 | www.centennial.k12.or.us
503 . 630 . 6871 | www.esd108.k12.or.us
Grove 503 357 6171 | boundaries: 503 359 8167 x 221 | www.fgsd.k12.or.us
503 . 655 . 2777 | www.gladstone.k12.or.us
Estacada
Forest
Gladstone
/ Barlow 503 . 618 . 2450 | www.gresham.k12.or.us Hillsboro 503 844 1500 | boundaries: 503 648 9123 | www.hsd.k12.or.us
Oswego 503 . 534 . 2000 | boundaries: 503 . 534 . 2490 | www.loswego.k12.or.us
Lake

School Information

McMinnville 503 565 4000 | www.msd.k12.or.us Molalla River 503 . 829 . 2359 | boundaries: 503 . 829 . 2512 | www.molallariv.k12.or.us Newberg 503 554 5000 | boundaries: 503 538 8365 | www.newberg.k12.or.us Oregon City 503 657 4283 | boundaries: 503 657 2471 | www.orecity.k12.or.us Oregon Trail 503 668 5541 | www.oregonrailschools.k12.or.us Parkrose 503 408 2100 | www.parkrose.k12.or.us Portland 503 916 2000 | boundaries: 503 916 3262 | www.pps.k12.or.us Reynolds 503 . 661 . 7200 | boundaries: 503 . 492 . 4921 | www.reynolds.k12.or.us Sherwood 503 625 8100 | boundaries: 503 625 8107 | www.sherwood.k12.or.us Tigard / Tualatin 503 431 4000 | www.ttsd.k12.or.us West Linn / Wilsonville 503 . 673 . 7000 | boundaries: 503 . 673 . 7034 | www.wlwv.k12.or.us Woodburn 503 . 981 . 9555 | www.woodburn.k12.or.us
County G School Type Tuition Range A(%) E(#)C(#)M(#) U Washington County (OR) 1. Agia Sophia Academy PK-5 Montessori $6,600–8,300 95 30 12 Yes 2. Catlin Gabel School PK-12 College Prep $27,190–34,100 26 776 17 61 No 4. Forest Hills Lutheran Christian School PK-8 Lutheran $6,531–6,875 98 197 18 No 5. German International School PK-5 Language Immersion, INTL Baccalaureate $15,110–15,275 98 144 12 10 No 6. Holy Trinity Catholic School PK-8 Catholic $6,600–8,400 285 30 Yes 7. Horizon Christian School PK-12 College Prep $4,650–11,975 95 411 14 24 No 8 Islamic School of MET PK-12 Muslim College Prep $7,750–8,250 90 206 16 5 Yes 9. Jesuit High School 9-12 College Prep $15,475 71 1274 23 86 No 11. Living Wisdom School PK-8 Education for Life $7,200–9,100 95 38 12 No 12. Montessori School of Beaverton PK-6 Montessori $11,400–12,000 80 120 1010 No 13. Northwest Chinese Academy PK-5 Language Immersion $17,250–19,525 96 33 77 Yes 14. Oregon Episcopal School PK-12 College Prep $28,900–35,000 43 858 16 72 Yes 15. Pilgrim Lutheran Christian School PK-8 Christian $6,850–8,295 12512 5 Yes 16. St. Matthew Catholic School PK-8 Catholic $6,850–8,600 99 184 21 16 Yes 17. St. Pius X Grade School K-8 Catholic $7,240–9,430 85 492 3029 Yes 18. St. Stephen‘s Academy PK-12 Classical Christian $5,160–10,620 96 256 1610 Yes 19. Tualatin Valley Academy PK-12 Christian $4,980–9,108 99 175 20 8 No Grade Range Acceptance Rate A 2014-2015 Enrollment E G
School Information
School Information County G School Type Tuition Range A(%) E(#)C(#) M(#) U Washington County (OR) 20. Valley Catholic Elementary School K-5 Catholic $8,520 337 13 Yes 21. Valley Catholic Middle School 6-8 College Prep $11,610 252 24 Yes 22. Valley Catholic High School 9-12 College Prep $14,685 370 28 No 23. Visitation Catholic School PK-8 Catholic $4,793–5,868 98 165 20 8 Yes Multnomah County (OR) 1. A Renaissance School of Arts and Sciences K-8 Progressive $14,440 90 115 8 9 No 2. Central Catholic High School 9-12 College Prep, Catholic $15,378–19,000 98 850 21 52 No 3. Childpeace Montessori School, Metro Middle School PK-8 Montessori $11,600–17,300 6 254 26 10 No 4. Columbia Christian School PK-12 Christian, College Prep $4,000–8,000 95 250 20 18 No 5. Edison High School 9-12 Learning Differences $24,650 50 102 9 14 No 6. French American International School PK-8 Language Immersion $18,296–21,113 79 451 16 48 No 7. Grace Lutheran School PK-8 Lutheran $2,825–6,695 95 88 22 1 No 8. Holy Redeemer Catholic School PK-8 Catholic $5,450–7,775 95 304 27 11 Yes 9. Northwest Academy 6-12 College Prep $22,900–24,400 75 240 15 26 No 10. Open Door Christian Academy PK-12 Christian $2,210–3,940 50 285 25 5 No 11. Pacific Crest Community School 6-12 College Prep $14,250 70 95 12 9 No Average Class Size C Required clothing or Uniforms? U Faculty with Master’s Degrees M
Grade Range Acceptance Rate A 2018-2019 Enrollment E G County G School Type Tuition Range A(%) E(#)C(#)M(#) U Multnomah County (OR) 12. Portland Christian Schools PK-12 College Prep $7,400–11,335 94 547 42 30 No 13. Portland Jewish Academy PK-8 Jewish $19,415–20,035 60 18818 No 14. St. Agatha Catholic School PK-8 Catholic $6,350–7,930 60 18818 No 15. St. Clare School K-8 Catholic $6,600–8,400 100 20726 Yes 16. St. John Fisher School K-8 Catholic $7,160–9,335 89 200 24 17 Yes 17. St. Mary’s Academy 9 - 12 College Prep $15,995 97 680 21 46 No 18. St. Rose School PK-8 Catholic $6,190–7,840 94 224 25 12 Yes 19. Sunstone Montessori School PK-6 Montessori $11,900–12,800 90 172 26 14 No 20. The International School PK-5 Language Immersion $19,040–19,640 87387 14 24 No 21. The Madeleine School K-8 Catholic $6,065–7,750 95 264 30 11 Yes 22. The Portland Montessori School PK-6 Montessori $10,725–11,600 80 151 24 7 No 23. Trinity Lutheran Christian School K-8 Lutheran $7,300 1005210 24. Tucker Maxon School PK-5 Independent $8,200–17,000 91 45 1212 No 25. Venn Academy K-8 Relationship BasedLearning $11,000 50-60 18 9 26. West Hills Christian School K-8 Christian $5,800–8,875 90 308 18 11 No 27 West Hills Montessori PK-6 Montessori $11,495–12,255 80 125 25 15 No
School Information
School Information Average Class Size C Required clothing or Uniforms? U Faculty with Master’s Degrees M County G School Type Tuition Range A(%) E(#)C(#)M(#) U Clackamas County (OR) 1. Arbor School of Arts and Sciences K-8 Progressive $14,400 29 189 21 24 No 2. Christa McAuliffe Academy School of Arts and Sciences K-12 College Prep $3,995–8,795 100 380 10 12 No 3. La Salle Catholic College Prep 9-12 College Prep $14,750 85 703 19 45 No 4 Micha-el School PK-8 Waldorf $6,370–8,340 95 110 18 9 No 5. North Clackamas Christian School PK-12 Christian $6,353–7,860 95 263 1815 No 6. Park Academy 3-12 Learning differences $21,000 96 10 7. Portland Waldorf School PK-12 Waldorf $11,275–19,595 325 20 8. Spring Mountain Christian Academy K-12 Christian $3,460$4,440 90 165 12 4 No 9. St. John the Apostle Catholic School PK-8 Catholic $6,499 98 190 18 9 Yes 10. The Marylhurst School PK-8 Progressive $11,000 80 85 18 7 No Clark County (WA) 1. Cascadia School 1 - 6 Montessori $9,960–10,440 90 98 22 3 No 2. Cedar Tree Classical Christian School K - 12 College Prep $6,600–6,960 75 213 16 8 Yes 3. The Gardner School of Arts & Sciences PK - 8 Independent $16,950–18,550 37 10 4 Our Lady Of Lourdes Catholic School PK-8 Catholic $7,034–8,975 98 232 22 10 Yes

Turn static files into dynamic content formats.

Create a flipbook