Skip to main content

Homebook - 762 SW Windrose Ter

Page 1


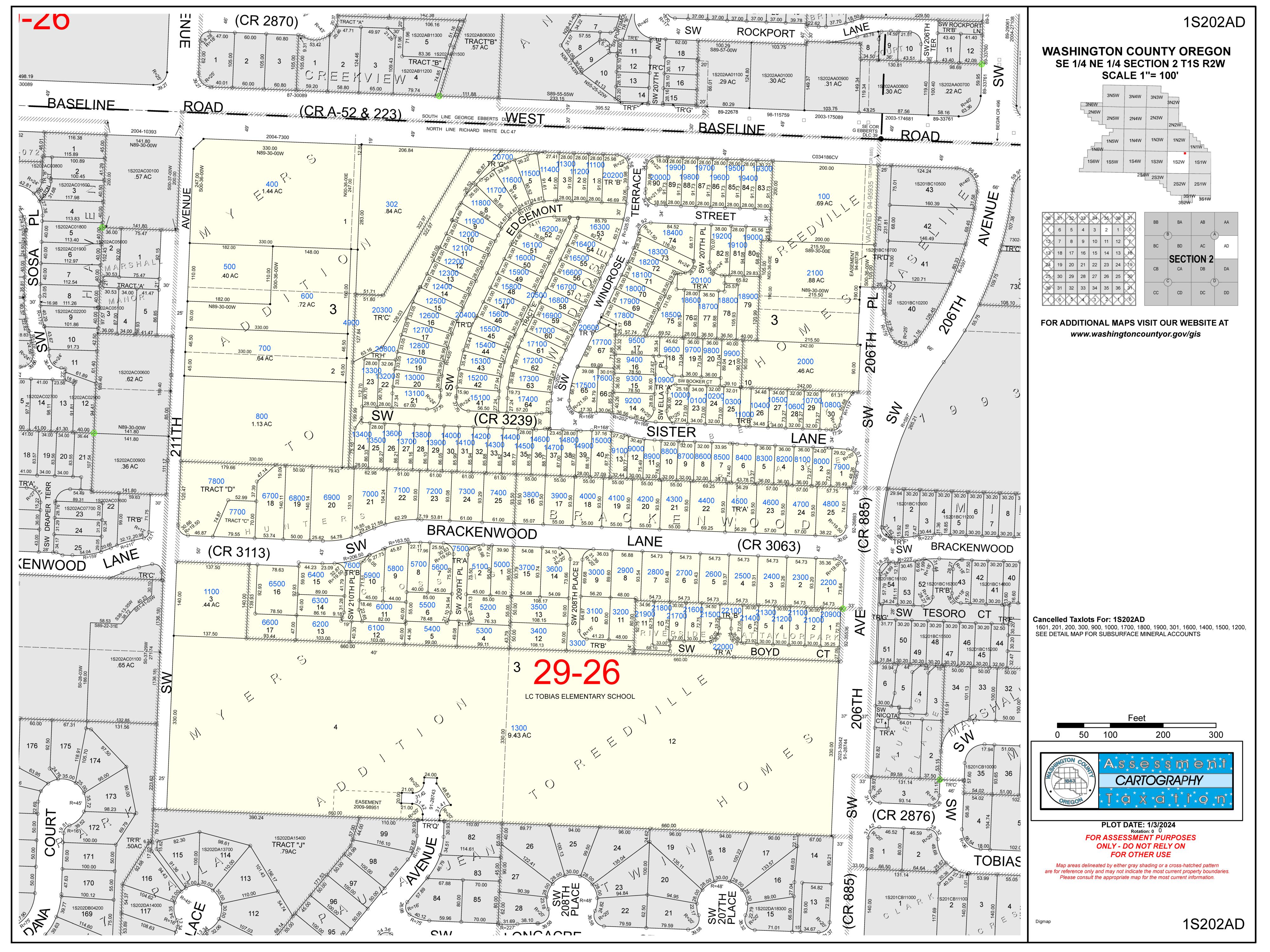
Subject Property 762 SW Windrose Ter, Beaverton OR 97003

County Name: Washington

APN / Parcel Number: R2158739

Current Ownership: Rawal Chawla Family Trust

Site Address: 762 SW Windrose Ter, Beaverton OR 97003

Mail Address: 762 SW Windrose Ter, Beaverton OR 97003

*Owner Occupied

Tract / Subdivision: / Windrose

Census Tract / Block: 031614 / 3000

Lot / Block: 70

Twn / Rng / Sec / Qtr: 01S / 02W / 02 / NE

Brief Legal Description: WINDROSE, LOT 70,

Sale Information

Sale Recording Date: 04/27/2012

Property Characteristics

Beds: 3

Baths: 3

Garage: Attached GarageFoundation:01

School District: Hillsboro

Watershed: Rock Creek-Tualatin River

Property Details

APN: R2158739

Sentry Dynamics, Inc and its customers make no representations, warranties or conditions, express or implied, as to the accuracy or completeness of information contained in this report

Parcel ID: R2158739

Parcel ID: R2158739

SiteAddress: 762 SW Windrose Ter

Sentry Dynamics, Inc and its customers make no representations, warranties or conditions, express or implied, as to the accuracy or completeness of information contained in this report

Parcel ID: R2158739

SiteAddress: 762 SW Windrose Ter

Sentry Dynamics, Inc and its customers make no representations, warranties or conditions, express or implied, as to the accuracy or completeness of information contained in this report

HOME PAIDUSERSLOGIN

Details Bills PaymentHistory

2025GENERALINFORMATION

PropertyStatus AActive

PropertyType Residential

LegalDescription WINDROSE,LOT70,ACRES0.06

AlternateAccountNumber -

Neighborhood REEDREEDVILLE

MapNumber 1S202AD18000

PropertyUse 1010:RESIDENTIALIMPROVED

LevyCodeArea 029.26

2024CertiedTaxRate 15.2680

2025OWNERINFORMATION

OwnerName RAWALCHAWLAFAMILYTRUST

MailingAddress 762SWWINDROSETERBEAVERTON, OR97003

2024IMPROVEMENTS

2024LANDSEGMENTS

RELATEDPROPERTIES

LinkedPropertiesPropertyGroupIDGroupedPropertiesSplit/MergeDateSplit/MergeAccountsSplit/MergeMessage -

SALESHISTORY

PORTLAND

&CHAWLA,VINEET

STERLINGSAVINGS BANK DRHORTONINCPORTLAND 2011045933

RIVERSIDEHOMES INC STERLINGSAVINGS BANK 2011024806

TAXSUMMARY

Households Breakdown

Age Distribution

County WASHINGTONCOUNTY

ReportDate:03/18/2025

NearbyNeighbor#6

NearbyNeighbor#9

Address

Owner PIERCE,JAMES

NearbyNeighbor#10

Address

ofCars

ofCars

NearbyNeighbor#11

Address 769SWWINDROSETER,BEAVERTON,OR97003

Owner ROBOCA,CHERILLEMARIEPABINGWIT&ROBOCA,ELIZABETH PABINGWIT

EITHEREXPRESS ORIMPLIED,INCLUDINGWITHOUTLIMITATION,ANYWARRANTIESOFMERCHANTABILITY,NON-INFRINGEMENT,ORFITNESSFORAPARTICULARPURPOSE.INTERCONTINENTALEXCHANGE,INC.(ICE)SHALL HAVENOLIABILITYINCONTRACT,TORT,OROTHERWISEARISINGOUTOFORINCONNECTIONWITHTHISREPORT.ICEDOESNOTREPRESENTORWARRANTTHATTHEREPORTISCOMPLETEORFREEFROM ERROR.YOUUNDERSTANDANDACKNOWLEDGETHATTHEAVAILABILITY,COMPLETENESSANDFORMATOFTHEDATAELEMENTSMAYVARYSUBSTANTIALLYFROMAREA-TO-AREA.THEINFORMATION CONTAINEDINTHISREPORTISDERIVEDFROMPUBLICLYAVAILABLESOURCESFORTHESUBJECTPROPERTYORCOMPARABLEPROPERTIESLISTEDABOVEANDHASNOTBEENINDEPENDENTLYVERIFIEDBY ICETHROUGHANYFORMOFINSPECTIONORREVIEW THISREPORTDOESNOTCONSTITUTEANAPPRAISALOFANYKINDANDSHOULDNOTBEUSEDINLIEUOFANINSPECTIONOFASUBJECTPROPERTYBYA LICENSEDORCERTIFIEDAPPRAISER.THISREPORTCONTAINSNOREPRESENTATIONS,OPINIONSORWARRANTIESREGARDINGTHESUBJECTPROPERTY'SACTUALMARKETABILITY,CONDITION(STRUCTURAL OROTHERWISE),ENVIRONMENTAL,HAZARDORFLOODZONESTATUS,ANDANYREFERENCETOENVIRONMENTAL,HAZARDORFLOODZONESTATUSISFORINFORMATIONALPURPOSESONLYANDSHALLBE INDEPENDENTLYVERIFIEDBYTHEENDUSER.THEINFORMATIONCONTAINEDHEREINSHALLNOTBEUTILIZED:(A)TOREVIEWORESTABLISHACONSUMER'SCREDITAND/ORINSURANCEELIGIBILITYORFOR ANYOTHERPURPOSETHATWOULDCAUSETHEREPORTTOCONSTITUTEA"CONSUMERREPORT"UNDERTHEFAIRCREDITREPORTINGACT,15U.S.C.§1681ETSEQ.;OR(B)INCONNECTIONWITH CERTIFICATIONORAUTHENTICATIONOFREALESTATEOWNERSHIPAND/ORREALESTATETRANSACTIONS.ADDITIONALTERMSANDCONDITIONSSHALLAPPLYPURSUANTTOTHEAPPLICABLEAGREEMENT

TRADEMARK(S)OF

EXCHANGE,INC.ANDITSSUBSIDIARIESANDAFFILIATES.

Area Schools

Assigned School

Primary School: Tobias Elementary School

Middle School: R A Brown Middle School High School: Century High School Primary School

1. Tobias Elementary School

Address: 1065 Sw 206Th Ave

District: Hillsboro Sd 1J

Charter: No Magnet:

Title 1 Elig: 2-No

2. R A Brown Middle School

Title 1: 6-Not a Title I school

Distance: 0.15 mile(s)

Type: 1-Regular school

Students: 411

Grade Levels: Kindergarten - 6th Grade

Male / Female: 223 / 187 Distance: 0.69 mile(s)

Address: 1505 Sw Cornelius Pass Rd

District: Hillsboro Sd 1J

Charter: No Magnet:

Title 1 Elig: 2-No

3. Century High School

Type: 1-Regular school

Students: 722

Title 1: 6-Not a Title I school Grade Levels: 7th Grade - 8th Grade

Male / Female: 397 / 321 Distance: 1.40 mile(s)

Address: 2000 Se Century Blvd District: Hillsboro Sd 1J

Charter: No

Title 1 Elig: 2-No

Male / Female: 843 / 693

Title 1: 6-Not a Title I school

Type: 1-Regular school

Students: 1,551

Grade Levels: 9th Grade - 12th Grade

Scan QR Code for CC&Rs

CC&Rs: Windrose

Steps in a Real Estate Transaction

Compliments of Lawyers Title

What is an Escrow?

An escrow is a neutral third party depository for legal documents and funds necessary to complete a real estate transaction. The escrow agent will disburse funds and record documents for the proper recipients according to their written instructions.

What title insurance and escrow costs are incurred in a real estate sale?

The fee for escrow services is based on the sales price of the property. This fee is typically split equally between the Seller and Buyer. However, Buyers should check with their lenders if financing is involved because some federally insured lending programs do not allow borrowers to pay this fee. The Seller typically pays for a standard owner’s policy of title insurance which names the Buyer as the insured. Charges for this policy are based on the sales price of the property. The Buyer typically pays for a lender’s policy of title insurance and any required endorsements if they are obtaining a new loan to purchase the property. Charges for this policy are based on the loan amount.

What services does an escrow agent perform on behalf of the Seller and Buyer?

• Upon receipt of a mutual Earnest Money Agreement, Escrow will order a preliminary title report which is sent to interested parties involved in the transaction. The report will detail the current condition of the title to the property.

• Clears any liens or encumbrances against the property, per written instructions

• Prepares a closing statement for each party showing all credits and debits, including any funds due to close, or refund owed at closing. The escrow agent will schedule appointments for all parties to sign the necessary documents to complete the transaction.

• Returns signed loan documents to the lender to their review and approval.

• Records all necessary documents with the County Recorder's Office

• Disburses funds per written instructions and issues title insurance policies to the proper parties.

1

The Listing Agreement

The property owner (Seller) initiates a contract, or a listing agreement, with a licensed Real Estate Agent.

2

The Sale

Property owner (Seller) enters into a purchase contract, typically referred to as an Earnest Money Agreement (EMA), with a Buyer.

The Escrow

As part of the EMA, Seller agrees to purchase a title insurance policy for the Buyer and both agree to close the transaction with a licensed escrow company. In Oregon, most title insurance companies also offer escrow services to facilitate a convenient “one-stop” approach to closing real estate transactions.

FROM PENDING TO SOLD

ESCROW FLOW CHART

Receive and review Earnest Money Agreement and Broker’s instructions.

Open escrow. Order title report.

Determine financing.

Information gathering from Buyer and Seller.

Receive title report. Send copies to all parties in the transaction.

Resolve any title issues. Order any payoff demands.

Review file. Are conditions satisfied? Contingencies removed?

Prepare closing statement, closing instructions and transfer deed

Obtain signatures on all escrow and loan documents. Collect any funds due from Buyer and/or Seller

Record applicable documents with the County Recorder's office.

Close file. Prepare final statements. Disburse funds.

Forward final documents to all interested parties - Buyer, Seller, Real Estate Agents, Lender, Broker, Attorney, etc.

NEW LOAN

Notify Escrow with name of new lender and loan officer.

Send title report to lender.

Notification of final loan approval. Are repairs complete?

Deliver Seller & Buyer Closing Disclosures. Buyers’ consummation 3-6 days.

Loan documents delivered to escrow.

Return loan documents for final approval to fund and record.

Order loan funds.

Turn static files into dynamic content formats.

Create a flipbook