







![]()








Parcel#:R291166
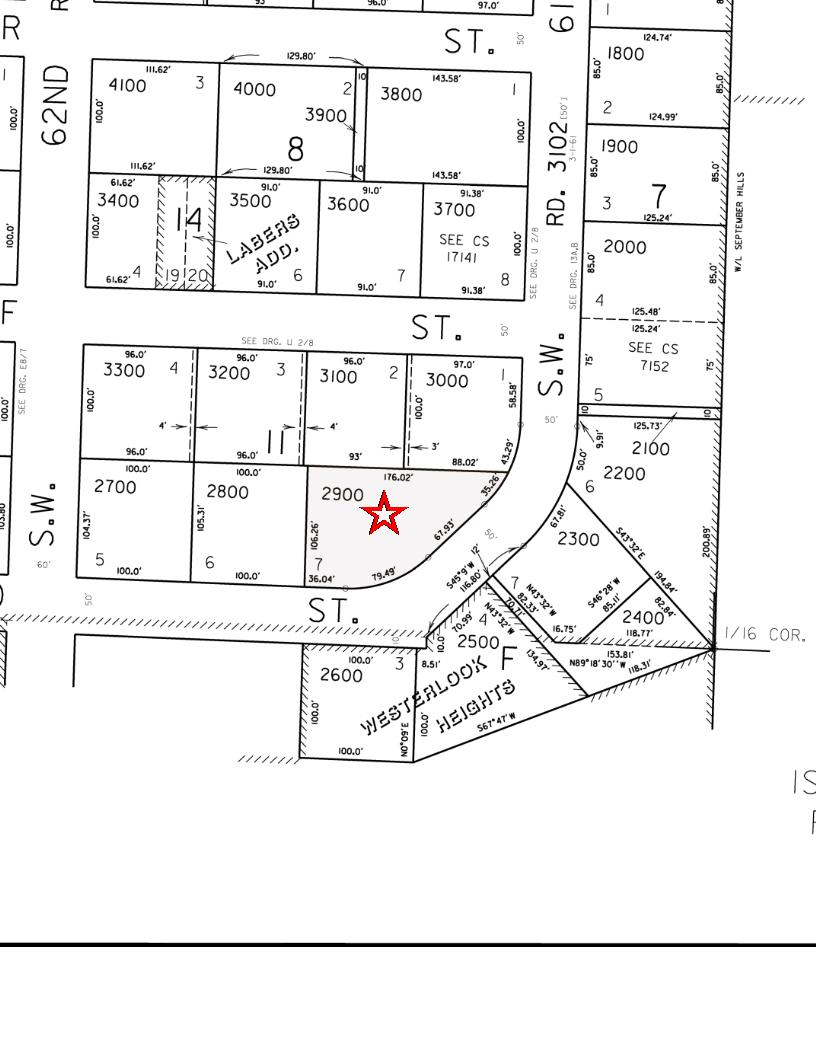
TaxLot:1S1E30CB02900
SiteAddress:6123SWAlfredSt PortlandOR97219-5764
Owner:WestPineDevelopmentLLC 16661SWLakeForestBlvd LakeOswegoOR97035-4141
Twn/Range/Section:01S/01E/30/SW
ParcelSize:030Acres(13,000SqFt)
Plat/Subdivision:TualatinSlopes Lot/Block:7/11
MapPage/Grid:655-H1
CensusTract/Block:006501/2025
CntyLandUse:101-Single-Family,Residential,Improved

MarketValueLand: $280,25000
MarketValueImpr: $403,46000
MarketValueTotal: $683,71000
AssessedValue: $383,14000(2023)
LevyCodeArea:001
LevyRate:264737(2023)
TaxYear:2023
AnnualTax:$10,14313
Exemption:N/A
CountyBldgUse:B-ResidentialImproved LandUseStd:RSFR-SingleFamilyResidence Recreation:
Watershed:FannoCreek-TualatinRiver
Neighborhood:CR-Crestwood Zoning:Portland-R7-Residential7,000 #Dwellings: SchoolDistrict:1J-Portland
ElementarySchool:MarkhamElementarySchool MiddleSchool:JacksonMiddleSchool HighSchool:IdaB Wells-BarnettHighSchool
YearBuilt:1957
Bedrooms:4
Baths,Total:3
RoofCovering:Wood
A/C:
Kitchen:1
TransferInformation
Rec Date:05/10/2024
Owner:BridgeCityEquityLLC
Orig LoanAmt:
FinanceType:
Stories:1
Garage:Det572SqFt
Baths,Full/Half:3/0
ExteriorWalls:Wood
Heat:ForcedAir
Porch/Patio:
SalePrice:$529,00000
LoanType:
TotalArea:3,060SqFt
FirstFloor:1,548SqFt
SecondFloor:
BasementFin/Unfin:1,512SqFt/0SqFt
AtticFin/Unfin:
Deck:
DocNum:2024027479
Grantor:LEONARDSTEVENM
TitleCo:OLDREPUBLICTITLE
Lender:
DocType:Deed
SentryDynamics,Inc anditscustomersmakenorepresentations,warrantiesorconditions,expressorimplied,astotheaccuracyorcompletenessof informationcontainedinthisreport

Thismap/platisbeingfurnishedasanaidinlocatingthehereindescribedLandinrelationtoadjoiningstreets,naturalboundariesandotherland,andisnotasurveyofthe landdepicted.Excepttotheextentapolicyoftitleinsuranceisexpresslymodifiedbyendorsement,ifany,theCompanydoesnotinsuredimensions,distances,locationof easements,acreageorothermattersshownthereon.

Thismap/platisbeingfurnishedasanaidinlocatingthehereindescribedLandinrelationtoadjoiningstreets,naturalboundariesandotherland,andisnotasurveyofthe landdepicted.Excepttotheextentapolicyoftitleinsuranceisexpresslymodifiedbyendorsement,ifany,theCompanydoesnotinsuredimensions,distances,locationof easements,acreageorothermattersshownthereon.
GENERALINFORMATION
Property Status AActive
Property Type RPResidential
Legal Description TUALATINSLOPES,BLOCK11,LOT7
Alternate Account Number R845102520
Neighborhood RB5130 W Portland Park Map Number 1S1E30CB-02900
Property Use B-RESIDENTIALIMPROVED
LevyCodeArea 001
OWNERINFORMATION
Owner Name WESTPINEDEVELOPMENTLLC
Mailing Address 16661SWLAKEFORESTBLVDLAKE OSWEGO,OR97035-4141
RELATEDPROPERTIES
Split/Merge data prior to February 6, 2018 is not available online, please call Multnomah County Assessment & Taxation division.
Linked Properties -
Property Group ID -
Grouped Properties -
Split / Merge Date -
Split / Merge Accounts -
Split / Merge Message -

IMPROVEMENTS
PR KENNEY,ADRIENNE&LEONARD,STEVEN M BRIDGECITYEQUITYLLC
QCD LEONARD,STEVENM& ELORRIAGA,NORMAM
2024027494 5/6/2024 $544,000
2024027479 5/10/2024 $529,000
KENNEY,ADRIENNE&LEONARD,STEVEN M 2024027478 5/10/2024 -
BSD LEONARD,STEVENM LEONARD,STEVENM& ELORRIAGA,NORMAM
WD MADISON,RICHARDI&ELLAM LEONARD,STEVENM
2007037637 3/2/2007 -
2002069613 4/15/2002 $248,000
INST MADISON,RICHARDI&ELLAM MADISON,RICHARDI&ELLAM BP09970028 -





PropertyAddress 6123SWALFREDST
City,State&Zip PORTLAND,OR97219-5764 County
MailingAddress
ReportDate:10/03/2024
OrderID:R162204009
NearbyNeighbor#15
Address 6049SWLURADELST,PORTLAND,OR97219
Owner GREENSLATE,STEVENW
Bedrooms 3 YearBuilt 1962
Bathrooms/Partial 2 Garage/No.ofCars
Disclaimer
THISREPORTISINTENDEDFORUSEBYYOUASANENDUSERSOLELYFORYOURINTERNALBUSINESSPURPOSES.YOUSHALLNOTRESELL,RELICENSEORREDISTRIBUTETHISREPORT,INWHOLEORIN PART THEUSEOFTHISREPORTBYANYPARTYOTHERTHANYOURSELFFORANYPURPOSEISSTRICTLYPROHIBITED.THISREPORTISPROVIDEDAS-ISWITHOUTWARRANTYOFANYKIND,EITHEREXPRESS ORIMPLIED,INCLUDINGWITHOUTLIMITATION,ANYWARRANTIESOFMERCHANTABILITY,NON-INFRINGEMENT,ORFITNESSFORAPARTICULARPURPOSE.INTERCONTINENTALEXCHANGE,INC.(ICE)SHALL HAVENOLIABILITYINCONTRACT,TORT,OROTHERWISEARISINGOUTOFORINCONNECTIONWITHTHISREPORT.ICEDOESNOTREPRESENTORWARRANTTHATTHEREPORTISCOMPLETEORFREEFROM ERROR.YOUUNDERSTANDANDACKNOWLEDGETHATTHEAVAILABILITY,COMPLETENESSANDFORMATOFTHEDATAELEMENTSMAYVARYSUBSTANTIALLYFROMAREA-TO-AREA.THEINFORMATION CONTAINEDINTHISREPORTISDERIVEDFROMPUBLICLYAVAILABLESOURCESFORTHESUBJECTPROPERTYORCOMPARABLEPROPERTIESLISTEDABOVEANDHASNOTBEENINDEPENDENTLYVERIFIEDBY ICETHROUGHANYFORMOFINSPECTIONORREVIEW THISREPORTDOESNOTCONSTITUTEANAPPRAISALOFANYKINDANDSHOULDNOTBEUSEDINLIEUOFANINSPECTIONOFASUBJECTPROPERTYBYA LICENSEDORCERTIFIEDAPPRAISER.THISREPORTCONTAINSNOREPRESENTATIONS,OPINIONSORWARRANTIESREGARDINGTHESUBJECTPROPERTY'SACTUALMARKETABILITY,CONDITION(STRUCTURAL OROTHERWISE),ENVIRONMENTAL,HAZARDORFLOODZONESTATUS,ANDANYREFERENCETOENVIRONMENTAL,HAZARDORFLOODZONESTATUSISFORINFORMATIONALPURPOSESONLYANDSHALLBE INDEPENDENTLYVERIFIEDBYTHEENDUSER.THEINFORMATIONCONTAINEDHEREINSHALLNOTBEUTILIZED:(A)TOREVIEWORESTABLISHACONSUMER'SCREDITAND/ORINSURANCEELIGIBILITYORFOR ANYOTHERPURPOSETHATWOULDCAUSETHEREPORTTOCONSTITUTEA"CONSUMERREPORT"UNDERTHEFAIRCREDITREPORTINGACT,15U.S.C.§1681ETSEQ.;OR(B)INCONNECTIONWITH CERTIFICATIONORAUTHENTICATIONOFREALESTATEOWNERSHIPAND/ORREALESTATETRANSACTIONS.ADDITIONALTERMSANDCONDITIONSSHALLAPPLYPURSUANTTOTHEAPPLICABLEAGREEMENT
Copyright CONFIDENTIAL,PROPRIETARYAND/ORTRADESECRET TMSM®TRADEMARK(S)OFINTERCONTINENTALEXCHANGE,INC.ANDITSSUBSIDIARIESANDAFFILIATES. ©2024INTERCONTINENTALEXCHANGE,INC.ALLRIGHTSRESERVED.



Please Use/Click on this Digital U lity Link


Most u lity service providers require you to go online, fill out a form and e-mail back, or use their online service.






















Banks
503 . 324 . 8591 | www.banks.k12.or.us
Beaverton
503 672 3721 | www.beaverton.k12.or.us
Canby
503 266 7861 | boundaries: 503 266 2064 | www.canby.k12.or.us
Centennial
503 760 7990 | www.centennial.k12.or.us
503 . 653 . 6000 | boundaries: 503 . 353 . 6119 | www.nclack.k12.or.us
Colton
503 824 3535 | boundaries: 503 824 3534 | www.colton.k12.or.us
David Douglas
503 . 252 . 7990 | www.centennial.k12.or.us
Estacada
503 . 630 . 6871 | www.esd108.k12.or.us
Forest Grove
503 357 6171 | boundaries: 503 359 8167 x 221 | www.fgsd.k12.or.us
Gladstone
503 . 655 . 2777 | www.gladstone.k12.or.us
Gresham / Barlow
503 . 618 . 2450 | www.gresham.k12.or.us
Hillsboro
503 844 1500 | boundaries: 503 648 9123 | www.hsd.k12.or.us
Lake Oswego
503 . 534 . 2000 | boundaries: 503 . 534 . 2490 | www.loswego.k12.or.us
Washington County (OR)
Multnomah County (OR)
Clackamas County (OR) 1.