Skip to main content

Flipbook for 5400 SW Garden Home Rd

Page 1

5400 SW Garden Home Rd Portland, OR 97219
NE Mar n Luther King Jr Blvd Portland, OR 97232
Eva
Sanders & Temara Presley John L. Sco Real Estate 1205

Property Profile HOMEBOOK

Parcel Information

Parcel #:R329364

Tax Lot:1S1E19DC04300

SiteAddress:5400 SW Garden Home Rd

Portland OR 97219 - 3249

Owner:Hintz, Micah D Hintz, Sylvie Frances M 5400 SW Garden Home Rd

Portland OR 97219 - 3249

Twn/Range/Section:01S / 01E / 19 / SE

Parcel Size:0 35Acres (15,254 SqFt)

Plat/Subdivision:

Lot/Block:

Map Page/Grid:625-J6

CensusTract/Block:006501 / 3001

Land

Cnty Land Use:101 - Single-Family, Residential, Improved

Land Use Std:RSFR - Single Family Residence

Assessment Information

Market Value Land: $347,000 00

Market Value Impr: $395,510 00

Market ValueTotal: $742,510 00

Assessed Value: $332,700 00 (2022)

Tax Information

Levy CodeArea:001

Levy Rate:26 6773 (2022)

TaxYear:2022

AnnualTax:$8,875 54

Exemption:

Legal

SECTION 19 1S 1E,TL4300 0 35ACRES

County Bldg Use:B - Residential Improved

Recreation:

Watershed:Fanno Creek-Tualatin River Neighborhood:AS -Ashcreek

Zoning:Portland-R10 - Residential 10,000 # Dwellings:

School District:1J - Portland

Elementary School:MARKHAM ELEMENTARY SCHOOL

Middle School:JACKSON MIDDLE SCHOOL High School:WILSON HIGH SCHOOL

Improvement

Year Built:1944

Bedrooms:2

Baths,Total:3

Stories:1

Garage:Att 528 SqFt

Baths, Full/Half:3 / 0

Roof Covering:Composition Exterior Walls:Wood

A/C:

TotalArea:2,470 SqFt

First Floor:1,812 SqFt

Second Floor:

Basement Fin/Unfin:

Heat:ForcedAir Attic Fin/Unfin:658 SqFt / 0 SqFt

Kitchen:2 Porch/Patio:200 SqFt / 240 SqFt

Transfer Information

Loan Date:04/07/2021

LoanType:

Rec Date:08/02/2019

Owner:Micah D Hintz

Orig LoanAmt:$461,600 00

FinanceType:

LoanAmt:$460,000 00

FinanceType:Conventional

Sale Price:$577,000 00

LoanType:Conventional

Deck:

Doc Num:57037

DocType:Deed OfTrust

Lender:FINANCE OFAMERICAMTG LLC

Doc Num:80043

DocType:Deed

Grantor:SILVER LAWRENCE P& VICTORIAG

Title Co:OLD REPUBLICTITLE

Lender:FINANCE OFAMERICAMTG LLC

Sentry Dynamics, Inc and its customers make no representations, warranties or conditions, express or implied, as to the accuracy or completeness of information contained in this report

Multnomah County Parcel Information

Thismap/platisbeingfurnishedasanaidinlocatingthehereindescribedLandinrelationtoadjoiningstreets,naturalboundariesandotherland,andisnotasurveyofthe landdepicted.Excepttotheextentapolicyoftitleinsuranceisexpresslymodifiedbyendorsement,ifany,theCompanydoesnotinsuredimensions,distances,locationof easements,acreageorothermattersshownthereon.

Thismap/platisbeingfurnishedasanaidinlocatingthehereindescribedLandinrelationtoadjoiningstreets,naturalboundariesandotherland,andisnotasurveyofthe landdepicted.Excepttotheextentapolicyoftitleinsuranceisexpresslymodifiedbyendorsement,ifany,theCompanydoesnotinsuredimensions,distances,locationof easements,acreageorothermattersshownthereon.
Property Owner Property Address 2022AssessedValue R329364 HINTZ,MICAHD&HINTZ,SYLVIEFRANCESM 5400SWGARDENHOMERD,PORTLAND,OR97219 $332,700 GENERALINFORMATION Property Status AActive Property Type RPResidential Legal Description SECTION191S1E,TL43000.35ACRES Alternate Account Number R991191440 Neighborhood R420 Map Number 1S1E19DC-04300 Property Use B-RESIDENTIALIMPROVED LevyCodeArea 001 OWNERINFORMATION Owner Name HINTZ,MICAHD&HINTZ,SYLVIEFRANCESM Mailing Address 5400SWGARDENHOMERDPORTLAND,OR 97219 RELATEDPROPERTIES
data prior to February 6, 2018 is not available online, please call Multnomah County Assessment & Taxation division. Linked PropertiesProperty Group IDGrouped PropertiesSplit / Merge DateSplit / Merge AccountsSplit / Merge MessageIMPROVEMENTS ? Expand/Collapse All LANDSEGMENTS LANDNO LANDTYPE LANDSIZE L1 RESRESIDENTIALLAND 15,254Sq.ft TOTALS 15,254Sq.ft/0.35acres ASSESSEDVALUES YEAR IMPROVEMENTS LAND SPECIALMARKET/USE RMV M5VALUE EXEMPTIONS M50ASSESSED 2022 $395,510 $347,000 $0 / $0 $742,510 $742,510 $332,700 2021 $335,510 $299,000 $0 / $0 $634,510 $634,510 $323,010 2020 $294,230 $279,500 $0 / $0 $573,730 $573,730 $313,610 2019 $288,910 $279,500 - / - $568,410 $568,410 $304,480 2018 $287,520 $279,500 - / - $567,020 $567,020 $295,620 2017 $287,530 $267,500 $0 / $0 $555,030 $555,030 $287,010 2016 $265,070 $226,700 - / $0 $491,770 $491,770 $278,660 2015 $260,870 $165,500 - / $0 $426,370 $426,370 $270,550 2014 $233,650 $171,750 - / $0 $405,400 $405,400 $262,670 2013 $204,800 $135,500 - / $0 $340,300 $340,300 $255,020 ? Improvement #1 Improvement Type Building Type Class - SINGLEFAMILYRESIDENTIAL 1STYW/ATTIC 3.0 ? Improvement #2 Improvement Type Building Type Class - ACCESSORYDWELLINGUNIT 1STY 3N
Split/Merge

If applicable, the described property is receiving special valuation based upon its use. Additional rollback taxes which may become due based on the provisions of the special valuation are not indicated in this listing.

Eéective Date: SALESHISTORY DEED SELLER BUYER INSTR# DATE CONSIDERATION AMOUNT WD SILVER,LAWRENCEP& SILVER,VICTORIAG HINTZ,MICAHD&HINTZ,SYLVIE FRANCESM 2019080043 7/27/2019 $577,000 DENT SILVER,LAWRENCEP SILVER,LAWRENCEP&SILVER,VICTORIA G 2003061534 3/19/2003WD DELANCEY,STEPHENB SILVER,LAWRENCEP 94083432 5/1/1994 $154,500 WD ARANTE,JACQUELINEETAL DELANCEY,STEPHENB BP24252072 6/1/1991 $100,320 C BURTON,BRENTT ARANTE,JACQUELINEETAL BP23391932 8/1/1990 $80,000
TAXSUMMARY ? Details TAXYEAR TOTAL BILLED AD VALOREM SPECIAL ASMT PRINCIPAL INTEREST DATE PAID TOTAL OWED 2022 $8,875.54 $8,875.54 $8,875.54 $0.00 - $0.00 2021 $8,725.29 $8,725.29 $8,725.29 $0.00 - $0.00 2020 $8,003.98 $8,003.98 $8,003.98 $0.00 - $0.00 2019 $7,709.66 $7,709.66 $7,709.66 $0.00 - $0.00 2018 $7,483.12 $7,483.12 $7,483.12 $0.00 - $0.00 2017 $7,171.84 $7,171.84 $7,171.84 $0.00 - $0.00 2016 $6,563.16 $6,563.16 $6,563.16 $0.00 - $0.00 2015 $6,391.01 $6,391.01 $6,391.01 $0.00 - $0.00 2014 $6,294.57 $6,294.57 $6,294.57 $0.00 - $0.00 2013 $5,601.22 $5,601.22 $5,601.22 $0.00 - $0.00 2012 $4,926.28 $4,926.28 $4,926.28 $0.00 - $0.00 2011 $4,754.39 $0.00 $4,754.39 $0.00 - $0.00 2010 $5,071.19 $0.00 $5,071.19 $0.00 - $0.00 2009 $4,936.82 $0.00 $4,936.82 $0.00 - $0.00 2008 $4,660.49 $0.00 $4,660.49 $0.00 - $0.00 TOTALTAXESDUE CurrentYearDue $0.00 PastYearsDue $0.00 TotalDue $0.00 PayMyBills $0 $0 $0 $0 $0 $0 $0 $0 $0 $0 $0 $0 $0 $0 $0
TAXYEAR RECEIPTNUMBER TRANSACTIONDATE PAYMENTAMOUNT 2022 MULT-1539760 11-15-2022 $8,609.27 2021 MULT-1178793 11-12-2021 $8,463.53 2020 MULT-860101 11-13-2020 $7,763.86 2019 MULT-456071 11-12-2019 $7,478.37 2018 MULT-328896 5-6-2019 $2,494.37 2018 MULT-310147 2-11-2019 $2,494.37 2018 MULT-15965 10-26-2018 $2,494.38 2017 J7957335 2-21-2018 $0.02 2017 8854000 1-2-2018 $4,781.22 2017 8578259 10-30-2017 $2,390.62 2016 8530508 5-9-2017 $2,187.72 2016 8502507 2-2-2017 $2,187.72 2016 8243409 11-1-2016 $2,187.72 2015 8178049 5-5-2016 $2,130.33 2015 8150026 2-2-2016 $2,130.34 2015 7866671 10-26-2015 $2,130.34 2014 7825073 5-7-2015 $2,098.19 2014 7796814 2-9-2015 $2,098.19 2014 7513454 10-27-2014 $2,098.19 2013 7468037 5-6-2014 $1,867.07 2013 7159221 10-23-2013 $3,659.47 2012 6971639 11-13-2012 $4,778.49 2011 6617682 11-14-2011 $4,611.76 2010 6250031 11-12-2010 $4,919.05 2009 5866091 11-12-2009 $4,788.72 2008 5471667 11-12-2008 $4,520.68
Neighborhood Information HOMEBOOK
Page 1
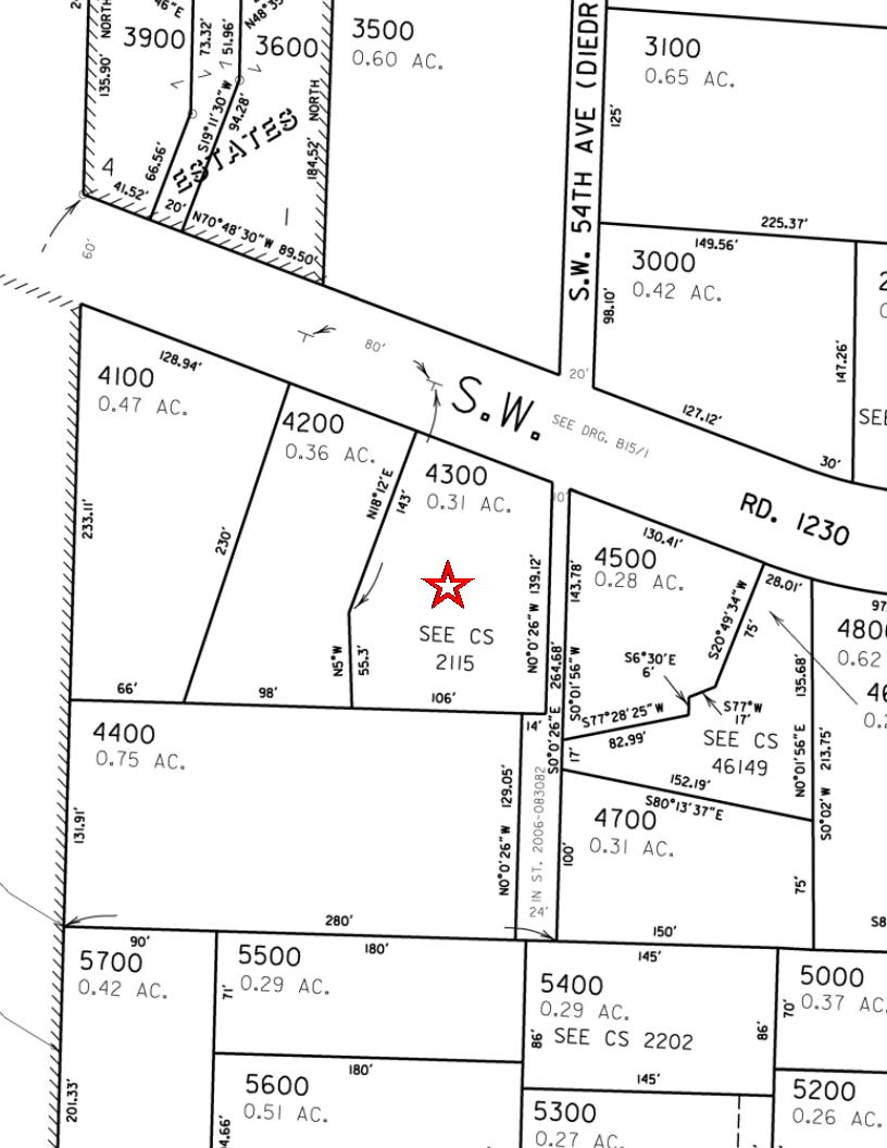
Subject Property Location Report Date: 03/03/2023 Property Address 5400 SW GARDEN HOME RD Order ID: R108764115 City, State & Zip PORTLAND, OR 97219-3249 County MULTNOMAH COUNTY Property Use Single Family Residential Mailing Address 5400 SW GARDEN HOME RD, PORTLAND, OR 97219-3249 Parcel Number 1S1E19DC 04300 Subject Property Address 5400 SW GARDEN HOME RD, PORTLAND, OR 97219 APN 1S1E19DC 04300 Owner HINTZ, MICAH D & HINTZ, SYLVIE FRANCES M Lot Size (SF/AC) 15,246/.35 Bedrooms 0 Year Built 1944 Living Area (SF) 1,812 Bathrooms/Partial 2 Garage/No. of Cars Attached Garage/2 Phones Nearby Neighbor #1 Address 5428 SW GARDEN HOME RD, PORTLAND, OR 97219 APN 1S1E19DC 04200 Owner ODDEN, ANTHONY; RIOS, MICAELA Lot Size (SF/AC) 14,375/.33 Bedrooms 3 Year Built 1953 Living Area (SF) 2,392 Bathrooms/Partial 2 Garage/No. of Cars Attached Garage/3 Phones (504) 352-4945 Nearby Neighbor #2 Address 5330 SW GARDEN HOME RD, PORTLAND, OR 97219 APN 1S1E19DC 04500 Owner PHILIP EUGENE NELSON TR Lot Size (SF/AC) 12,197/.28 Bedrooms 2 Year Built 1934 Living Area (SF) 1,354 Bathrooms/Partial 2 Garage/No. of Cars Mixed/2 Phones Nearby Neighbor #3 Address 8425 SW 54TH AVE, PORTLAND, OR 97219 APN 1S1E19DC 04400 Owner WONG, MARY & WONG, STEVEN Lot Size (SF/AC) 33,106/.76 Bedrooms 0 Year Built 2007 Living Area (SF) 4,354 Bathrooms/Partial 4/1 Garage/No. of Cars Attached Garage/2 Phones Nearby Neighbor #4 Address 5310 SW GARDEN HOME RD, PORTLAND, OR 97219 APN 1S1E19DC 04600 Owner LEWIS, JEFFREY R Lot Size (SF/AC) 10,019/.23 Bedrooms 1 Year Built 1984 Living Area (SF) 960 Bathrooms/Partial 1 Garage/No. of Cars Phones Nearby Neighbor #5 Address 5432 SW GARDEN HOME RD, PORTLAND, OR 97219 APN 1S1E19DC 04100 Owner CERRUTI, EVONNE K & SEGER, V ELDEAN Lot Size (SF/AC) 20,473/.47 Bedrooms 1 Year Built 1934 Living Area (SF) 1,534 Bathrooms/Partial 2 Garage/No. of Cars Phones Nearby Neighbor #6 Address 8424 SW 54TH AVE, PORTLAND, OR 97219 APN 1S1E19DC 04700 Owner SOMERS, HOLLY J Lot Size (SF/AC) 13,939/.32 Bedrooms 1 Year Built 1937 Living Area (SF) 1,976 Bathrooms/Partial 2 Garage/No. of Cars Attached Garage/1 Phones
Nearby Neighbors Report
Page 2 Nearby Neighbor #7 Address 5339 SW GARDEN HOME RD, PORTLAND, OR 97219 APN 1S1E19DC 03000 Owner HAGLUND, JOHN W Lot Size (SF/AC) 18,295/.42 Bedrooms 3 Year Built 1923 Living Area (SF) 1,414 Bathrooms/Partial 1/1 Garage/No. of Cars Detached Garage/2 Phones Nearby Neighbor #8 Address 8437 SW 54TH AVE, PORTLAND, OR 97219 APN 1S1E19DC 05500 Owner BECKETT, CHRISTOPHER M TR & BECKETT, CATHERINE TR; CHRIS & CARTIE BECKETT REV TRUST Lot Size (SF/AC) 12,632/.29 Bedrooms 3 Year Built 1990 Living Area (SF) 2,692 Bathrooms/Partial 2/1 Garage/No. of Cars Attached Garage/2 Phones Nearby Neighbor #9 Address 5417 SW GARDEN HOME RD, PORTLAND, OR 97219 APN 1S1E19DC 03500 Owner CARR, TYEE J & CARR, CAROLINE K Lot Size (SF/AC) 26,136/.6 Bedrooms 3 Year Built 1923 Living Area (SF) 2,294 Bathrooms/Partial 2 Garage/No. of Cars Attached Garage/2 Phones Nearby Neighbor #10 Address 5508 SW GARDEN HOME RD, PORTLAND, OR 97219 APN 1S1E19CD 09400 Owner HERR, LEAH L & HERR, ANDREW S Lot Size (SF/AC) 11,680/.27 Bedrooms 3 Year Built 1939 Living Area (SF) 2,116 Bathrooms/Partial 2 Garage/No. of Cars Attached Garage/1 Phones Nearby Neighbor #11 Address 5437 SW GARDEN HOME RD, PORTLAND, OR 97219 APN 1S1E19DC 03600 Owner FOX, CONNIE J Lot Size (SF/AC) 10,854/.25 Bedrooms 0 Year Built 1951 Living Area (SF) 2,060 Bathrooms/Partial 2 Garage/No. of Cars Mixed/3 Phones Nearby Neighbor #12 Address 5300 SW GARDEN HOME RD, PORTLAND, OR 97219 APN 1S1E19DC 04800 Owner GIBSON, TERRY M Lot Size (SF/AC) 26,572/.61 Bedrooms 1 Year Built 1951 Living Area (SF) 860 Bathrooms/Partial 1 Garage/No. of Cars Phones Nearby Neighbor #13 Address 5303 SW GARDEN HOME RD, PORTLAND, OR 97219 APN 1S1E19DC 02900 Owner RUBENS, PETER P Lot Size (SF/AC) 13,504/.31 Bedrooms 3 Year Built 1992 Living Area (SF) 2,563 Bathrooms/Partial 2/1 Garage/No. of Cars Built-in/3 Phones Nearby Neighbor #14 Address 8326 SW 56TH AVE, PORTLAND, OR 97219 APN 1S1E19CD 09500 Owner VANDERVELDE, D ANDREW & VANDERVELDE, NANCY R Lot Size (SF/AC) 20,768/.48 Bedrooms 3 Year Built 1937 Living Area (SF) 2,256 Bathrooms/Partial 2 Garage/No. of Cars Attached Garage/2 Phones

Disclaimer THIS REPORT IS INTENDED FOR USE BY YOU AS AN END USER SOLELY FOR YOUR INTERNAL BUSINESS PURPOSES. YOU SHALL NOT RESELL, RELICENSE OR REDISTRIBUTE THIS REPORT, IN WHOLE OR IN PART. THE USE OF THIS REPORT BY ANY PARTY OTHER THAN YOURSELF FOR ANY PURPOSE IS STRICTLY PROHIBITED. THIS REPORT IS PROVIDED AS-IS WITHOUT WARRANTY OF ANY KIND, EITHER EXPRESS OR IMPLIED, INCLUDING WITHOUT LIMITATION, ANY WARRANTIES OF MERCHANTABILITY, NON-INFRINGEMENT, OR FITNESS FOR A PARTICULAR PURPOSE. BLACK KNIGHT SHALL HAVE NO LIABILITY IN CONTRACT, TORT, OR OTHERWISE ARISING OUT OF OR IN CONNECTION WITH THIS REPORT. BLACK KNIGHT DOES NOT REPRESENT OR WARRANT THAT THE REPORT IS COMPLETE OR FREE FROM ERROR. YOU UNDERSTAND AND ACKNOWLEDGE THAT THE AVAILABILITY, COMPLETENESS AND FORMAT OF THE DATA ELEMENTS MAY VARY SUBSTANTIANLLY FROM AREA-TO-AREA. THE INFORMATION CONTAINED IN THIS REPORT IS DERIVED FROM PUBLICLY AVAILABLE SOURCES FOR THE SUBJECT PROPERTY OR COMPARABLE PROPERTIES LISTED ABOVE AND HAS NOT BEEN INDEPENDENT VERIFIED BY BLACK KNIGHT THROUGH ANY FORM OF INSPECTION OR REVIEW. THIS REPORT DOES NOT CONSTITUTE AN APPRAISAL OF ANY KIND AND SHOULD NOT BE USED IN LIEU OF AN INSPECTION OF A SUBJECT PROPERTY BY A LICENSED OR CERTIFIED APPRAISER. THIS REPORT CONTAINS NO REPRESENTATIONS, OPINIONS OR WARRANTIES REGARDING THE SUBJECT PROPERTY'S ACTUAL MARKETABILITY, CONDITION (STRUCTURAL OR OTHERWISE), ENVIRONMENTAL, HAZARD OR FLOOD ZONE STATUS, AND ANY REFERENCE TO ENVIRONMENTAL, HAZARD OR FLOOD ZONE STATUS IS FOR INFORMATIONAL PURPOSES ONLY AND SHALL BE INDEPENDENTLY VERIFIED BY THE END USER. THE INFORMATION CONTAINED HEREIN SHALL NOT BE UTILIZED: (A) TO REVIEW OR ESTABLISH A CONSUMER'S CREDIT AND/OR INSURANCE ELIGIBILITY OR FOR ANY OTHER PURPOSE THAT WOULD CAUSE THE REPORT TO CONSTITUTE A "CONSUMER REPORT" UNDER THE FAIR CREDIT REPORTING ACT, 15 U.S.C. § 1681 ET SEQ.; OR (B) IN CONNECTION WITH CERTIFICATION OR AUTHENTICATION OF REAL ESTATE OWNERSHIP AND/OR REAL ESTATE TRANSACTIONS. ADDITIONAL TERMS AND CONDITIONS SHALL APPLY PURSUANT TO THE APPLICABLE AGREEMENT.

Copyright

CONFIDENTIAL, PROPRIETARY AND/OR TRADE SECRET. TM SM ® TRADEMARK(S) OF BLACK KNIGHT IP HOLDING COMPANY, LLC, OR AN AFFILIATE. © 2023 BLACK KNIGHT TECHNOLOGIES, LLC. ALL RIGHTS RESERVED.

Page 3
Neighbor
Address
SW 56TH AVE, PORTLAND, OR 97219 APN 1S1E19CD 09600 Owner BERNS,
& JANOUSEK, DOUG E Lot Size (SF/AC) 20,240/.46 Bedrooms 3 Year Built 1938 Living Area (SF) 3,878 Bathrooms/Partial 3 Garage/No. of Cars Detached Garage/2 Phones (503) 701-3659
Nearby
#15
8412
DEBRA L
Utilities
HOMEBOOK

Please Use/Click on this Digital U lity Link

Most u lity service providers require you to go online, fill out a form and e-mail back, or use their online service.

School Information HOMEBOOK

ClickHereforthe OregonSchoolReportCards

School Information

Centennial

North

David

Gresham

Banks 503 . 324 . 8591 | www.banks.k12.or.us Beaverton 503 672 3721 | www.beaverton.k12.or.us
503 266 7861 | boundaries: 503 266 2064 | www.canby.k12.or.us
Canby
503 760 7990 | www.centennial.k12.or.us
Clackamas 503 . 653 . 6000 | boundaries: 503 . 353 . 6119 | www.nclack.k12.or.us
503 824 3535 | boundaries: 503 824 3534 | www.colton.k12.or.us
Colton
Douglas 503 . 252 . 7990 | www.centennial.k12.or.us
503 . 630 . 6871 | www.esd108.k12.or.us
Grove 503 357 6171 | boundaries: 503 359 8167 x 221 | www.fgsd.k12.or.us
503 . 655 . 2777 | www.gladstone.k12.or.us
Estacada
Forest
Gladstone
/ Barlow 503 . 618 . 2450 | www.gresham.k12.or.us Hillsboro 503 844 1500 | boundaries: 503 648 9123 | www.hsd.k12.or.us
Oswego 503 . 534 . 2000 | boundaries: 503 . 534 . 2490 | www.loswego.k12.or.us
Lake

School Information

McMinnville 503 565 4000 | www.msd.k12.or.us Molalla River 503 . 829 . 2359 | boundaries: 503 . 829 . 2512 | www.molallariv.k12.or.us Newberg 503 554 5000 | boundaries: 503 538 8365 | www.newberg.k12.or.us Oregon City 503 657 4283 | boundaries: 503 657 2471 | www.orecity.k12.or.us Oregon Trail 503 668 5541 | www.oregonrailschools.k12.or.us Parkrose 503 408 2100 | www.parkrose.k12.or.us Portland 503 916 2000 | boundaries: 503 916 3262 | www.pps.k12.or.us Reynolds 503 . 661 . 7200 | boundaries: 503 . 492 . 4921 | www.reynolds.k12.or.us Sherwood 503 625 8100 | boundaries: 503 625 8107 | www.sherwood.k12.or.us Tigard / Tualatin 503 431 4000 | www.ttsd.k12.or.us West Linn / Wilsonville 503 . 673 . 7000 | boundaries: 503 . 673 . 7034 | www.wlwv.k12.or.us Woodburn 503 . 981 . 9555 | www.woodburn.k12.or.us
County G School Type Tuition Range A(%) E(#)C(#)M(#) U Washington County (OR) 1. Agia Sophia Academy PK-5 Montessori $6,600–8,300 95 30 12 Yes 2. Catlin Gabel School PK-12 College Prep $27,190–34,100 26 776 17 61 No 4. Forest Hills Lutheran Christian School PK-8 Lutheran $6,531–6,875 98 197 18 No 5. German International School PK-5 Language Immersion, INTL Baccalaureate $15,110–15,275 98 144 12 10 No 6. Holy Trinity Catholic School PK-8 Catholic $6,600–8,400 285 30 Yes 7. Horizon Christian School PK-12 College Prep $4,650–11,975 95 411 14 24 No 8 Islamic School of MET PK-12 Muslim College Prep $7,750–8,250 90 206 16 5 Yes 9. Jesuit High School 9-12 College Prep $15,475 71 1274 23 86 No 11. Living Wisdom School PK-8 Education for Life $7,200–9,100 95 38 12 No 12. Montessori School of Beaverton PK-6 Montessori $11,400–12,000 80 120 1010 No 13. Northwest Chinese Academy PK-5 Language Immersion $17,250–19,525 96 33 77 Yes 14. Oregon Episcopal School PK-12 College Prep $28,900–35,000 43 858 16 72 Yes 15. Pilgrim Lutheran Christian School PK-8 Christian $6,850–8,295 12512 5 Yes 16. St. Matthew Catholic School PK-8 Catholic $6,850–8,600 99 184 21 16 Yes 17. St. Pius X Grade School K-8 Catholic $7,240–9,430 85 492 3029 Yes 18. St. Stephen‘s Academy PK-12 Classical Christian $5,160–10,620 96 256 1610 Yes 19. Tualatin Valley Academy PK-12 Christian $4,980–9,108 99 175 20 8 No Grade Range Acceptance Rate A 2014-2015 Enrollment E G
School Information
School Information County G School Type Tuition Range A(%) E(#)C(#) M(#) U Washington County (OR) 20. Valley Catholic Elementary School K-5 Catholic $8,520 337 13 Yes 21. Valley Catholic Middle School 6-8 College Prep $11,610 252 24 Yes 22. Valley Catholic High School 9-12 College Prep $14,685 370 28 No 23. Visitation Catholic School PK-8 Catholic $4,793–5,868 98 165 20 8 Yes Multnomah County (OR) 1. A Renaissance School of Arts and Sciences K-8 Progressive $14,440 90 115 8 9 No 2. Central Catholic High School 9-12 College Prep, Catholic $15,378–19,000 98 850 21 52 No 3. Childpeace Montessori School, Metro Middle School PK-8 Montessori $11,600–17,300 6 254 26 10 No 4. Columbia Christian School PK-12 Christian, College Prep $4,000–8,000 95 250 20 18 No 5. Edison High School 9-12 Learning Differences $24,650 50 102 9 14 No 6. French American International School PK-8 Language Immersion $18,296–21,113 79 451 16 48 No 7. Grace Lutheran School PK-8 Lutheran $2,825–6,695 95 88 22 1 No 8. Holy Redeemer Catholic School PK-8 Catholic $5,450–7,775 95 304 27 11 Yes 9. Northwest Academy 6-12 College Prep $22,900–24,400 75 240 15 26 No 10. Open Door Christian Academy PK-12 Christian $2,210–3,940 50 285 25 5 No 11. Pacific Crest Community School 6-12 College Prep $14,250 70 95 12 9 No Average Class Size C Required clothing or Uniforms? U Faculty with Master’s Degrees M
Grade Range Acceptance Rate A 2018-2019 Enrollment E G County G School Type Tuition Range A(%) E(#)C(#)M(#) U Multnomah County (OR) 12. Portland Christian Schools PK-12 College Prep $7,400–11,335 94 547 42 30 No 13. Portland Jewish Academy PK-8 Jewish $19,415–20,035 60 18818 No 14. St. Agatha Catholic School PK-8 Catholic $6,350–7,930 60 18818 No 15. St. Clare School K-8 Catholic $6,600–8,400 100 20726 Yes 16. St. John Fisher School K-8 Catholic $7,160–9,335 89 200 24 17 Yes 17. St. Mary’s Academy 9 - 12 College Prep $15,995 97 680 21 46 No 18. St. Rose School PK-8 Catholic $6,190–7,840 94 224 25 12 Yes 19. Sunstone Montessori School PK-6 Montessori $11,900–12,800 90 172 26 14 No 20. The International School PK-5 Language Immersion $19,040–19,640 87387 14 24 No 21. The Madeleine School K-8 Catholic $6,065–7,750 95 264 30 11 Yes 22. The Portland Montessori School PK-6 Montessori $10,725–11,600 80 151 24 7 No 23. Trinity Lutheran Christian School K-8 Lutheran $7,300 1005210 24. Tucker Maxon School PK-5 Independent $8,200–17,000 91 45 1212 No 25. Venn Academy K-8 Relationship BasedLearning $11,000 50-60 18 9 26. West Hills Christian School K-8 Christian $5,800–8,875 90 308 18 11 No 27 West Hills Montessori PK-6 Montessori $11,495–12,255 80 125 25 15 No
School Information
School Information Average Class Size C Required clothing or Uniforms? U Faculty with Master’s Degrees M County G School Type Tuition Range A(%) E(#)C(#)M(#) U Clackamas County (OR) 1. Arbor School of Arts and Sciences K-8 Progressive $14,400 29 189 21 24 No 2. Christa McAuliffe Academy School of Arts and Sciences K-12 College Prep $3,995–8,795 100 380 10 12 No 3. La Salle Catholic College Prep 9-12 College Prep $14,750 85 703 19 45 No 4 Micha-el School PK-8 Waldorf $6,370–8,340 95 110 18 9 No 5. North Clackamas Christian School PK-12 Christian $6,353–7,860 95 263 1815 No 6. Park Academy 3-12 Learning differences $21,000 96 10 7. Portland Waldorf School PK-12 Waldorf $11,275–19,595 325 20 8. Spring Mountain Christian Academy K-12 Christian $3,460$4,440 90 165 12 4 No 9. St. John the Apostle Catholic School PK-8 Catholic $6,499 98 190 18 9 Yes 10. The Marylhurst School PK-8 Progressive $11,000 80 85 18 7 No Clark County (WA) 1. Cascadia School 1 - 6 Montessori $9,960–10,440 90 98 22 3 No 2. Cedar Tree Classical Christian School K - 12 College Prep $6,600–6,960 75 213 16 8 Yes 3. The Gardner School of Arts & Sciences PK - 8 Independent $16,950–18,550 37 10 4 Our Lady Of Lourdes Catholic School PK-8 Catholic $7,034–8,975 98 232 22 10 Yes

Turn static files into dynamic content formats.

Create a flipbook