

![]()


ParcelInformation
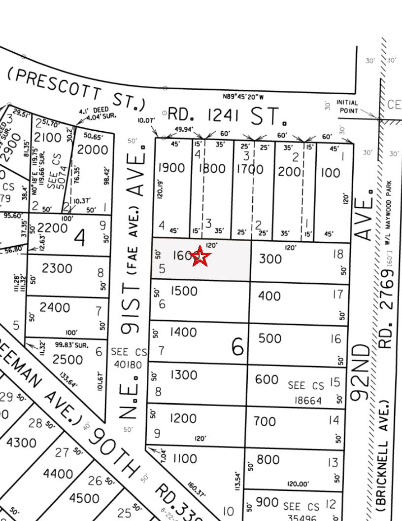
Parcel#:R261718
TaxLot:1N2E21CA01600
SiteAddress:4442NE91stAve
PortlandOR97220-5024
Owner:Schultz,John Schultz,Abigail 4442NE91stAve
PortlandOR97220-5024
Twn/Range/Section:01N/02E/21/SW
ParcelSize:013Acres(5,500SqFt)
Plat/Subdivision:Roseway&Plat02
Lot/Block:5/6
MapPage/Grid:597-G1
CensusTract/Block:007800/2009
Land
CntyLandUse:101-Single-Family,Residential,Improved

AssessmentInformation
MarketValueLand: $202,50000
MarketValueImpr: $206,34000
MarketValueTotal: $408,84000
AssessedValue: $144,13000(2023)
TaxInformation Legal
LevyCodeArea:006
LevyRate:223335(2023)
TaxYear:2023
AnnualTax:$3,21893
Exemption:N/A
CountyBldgUse:B-ResidentialImproved LandUseStd:RSFR-SingleFamilyResidence Recreation:
Watershed:ColumbiaSlough-WillametteRiver
Zoning:Portland-R7-Residential7,000
SchoolDistrict:3-Parkrose
Neighborhood:SUM-SumnerAssociationOf Neighbors
#Dwellings:
ElementarySchool:RussellElementary MiddleSchool:ParkroseMiddleSchool HighSchool:ParkroseHighSchool
Improvement
YearBuilt:1924
Bedrooms:2
Baths,Total:1
RoofCovering:Composition
A/C:
Stories:1
Garage:Det240SqFt
Baths,Full/Half:1/0
ExteriorWalls:Wood
Heat:ForcedAir
TotalArea:1,248SqFt
FirstFloor:1,048SqFt
SecondFloor:
BasementFin/Unfin:200SqFt/0SqFt
AtticFin/Unfin: Kitchen:1 Porch/Patio:170SqFt/260SqFt
TransferInformation
Rec Date:05/10/2022
Owner:JohnSchultz
Orig LoanAmt:$466,57000
FinanceType:
SalePrice:$481,00000
LoanType:Conventional
DocNum:48287
Deck:144SqFt
DocType:Deed
Grantor:KASEYRACHELA&JENNIFERM
TitleCo:STEWARTTITLE
Lender:USBKNATIONALASSN
SentryDynamics,Inc anditscustomersmakenorepresentations,warrantiesorconditions,expressorimplied,astotheaccuracyorcompletenessof informationcontainedinthisreport

Thismap/platisbeingfurnishedasanaidinlocatingthehereindescribedLandinrelationtoadjoiningstreets,naturalboundariesandotherland,andisnotasurveyofthe landdepicted.Excepttotheextentapolicyoftitleinsuranceisexpresslymodifiedbyendorsement,ifany,theCompanydoesnotinsuredimensions,distances,locationof easements,acreageorothermattersshownthereon.

Thismap/platisbeingfurnishedasanaidinlocatingthehereindescribedLandinrelationtoadjoiningstreets,naturalboundariesandotherland,andisnotasurveyofthe landdepicted.Excepttotheextentapolicyoftitleinsuranceisexpresslymodifiedbyendorsement,ifany,theCompanydoesnotinsuredimensions,distances,locationof easements,acreageorothermattersshownthereon.
GENERALINFORMATION
Property Status AActive
Property Type RPResidential
Legal Description ROSEWAY&PLAT2,BLOCK6,LOT5
Alternate Account Number R727802280
Neighborhood RB2064NParkrose
Map Number 1N2E21CA-01600
Property Use B-RESIDENTIALIMPROVED
LevyCodeArea 006
OWNERINFORMATION
Owner Name SCHULTZ,JOHN&SCHULTZ,ABIGAIL
Mailing Address 4442NE91STAVEPORTLAND,OR97220
RELATEDPROPERTIES
Split/Merge data prior to February 6, 2018 is not available online, please call Multnomah County Assessment & Taxation division.
Linked Properties -
Property Group ID -
Grouped Properties -
Split / Merge Date -
Split / Merge Accounts -
Split / Merge Message -

IMPROVEMENTS ? Expand/Collapse All
Eìective Date: If applicable, the described property is receiving special valuation based upon its use. Additional rollback taxes which may become due based on the provisions of the special valuation are not indicated in this listing.





Nearby Neighbor #7
Nearby Neighbor #8
Nearby Neighbor #9
Nearby Neighbor #10
BULFANT, KENT & LOVE, KEELEY
THIS REPORT IS INTENDED FOR USE BY YOU AS AN END USER SOLELY FOR YOUR INTERNAL BUSINESS PURPOSES. YOU SHALL NOT RESELL, RELICENSE OR REDISTRIBUTE THIS REPORT, IN WHOLE OR IN PART. THE USE OF THIS REPORT BY ANY PARTY OTHER THAN YOURSELF FOR ANY PURPOSE IS STRICTLY PROHIBITED. THIS REPORT IS PROVIDED AS-IS WITHOUT WARRANTY OF ANY KIND, EITHER EXPRESS OR IMPLIED, INCLUDING WITHOUT LIMITATION, ANY WARRANTIES OF MERCHANTABILITY, NON-INFRINGEMENT, OR FITNESS FOR A PARTICULAR PURPOSE. INTERCONTINENTAL EXCHANGE, INC. (ICE) SHALL HAVE NO LIABILITY IN CONTRACT, TORT, OR OTHERWISE ARISING OUT OF OR IN CONNECTION WITH THIS REPORT. ICE DOES NOT REPRESENT OR WARRANT THAT THE REPORT IS COMPLETE OR FREE FROM ERROR. YOU UNDERSTAND AND ACKNOWLEDGE THAT THE AVAILABILITY, COMPLETENESS AND FORMAT OF THE DATA ELEMENTS MAY VARY SUBSTANTIALLY FROM AREA-TO-AREA. THE INFORMATION CONTAINED IN THIS REPORT IS DERIVED FROM PUBLICLY AVAILABLE SOURCES FOR THE SUBJECT PROPERTY OR COMPARABLE PROPERTIES LISTED ABOVE AND HAS NOT BEEN INDEPENDENTLY VERIFIED BY ICE THROUGH ANY FORM OF INSPECTION OR REVIEW. THIS REPORT DOES NOT CONSTITUTE AN APPRAISAL OF ANY KIND AND SHOULD NOT BE USED IN LIEU OF AN INSPECTION OF A SUBJECT PROPERTY BY A LICENSED OR CERTIFIED APPRAISER. THIS REPORT CONTAINS NO REPRESENTATIONS, OPINIONS OR WARRANTIES REGARDING THE SUBJECT PROPERTY'S ACTUAL MARKETABILITY, CONDITION (STRUCTURAL OR OTHERWISE), ENVIRONMENTAL, HAZARD OR FLOOD ZONE STATUS, AND ANY REFERENCE TO ENVIRONMENTAL, HAZARD OR FLOOD ZONE STATUS IS FOR INFORMATIONAL PURPOSES ONLY AND SHALL BE INDEPENDENTLY VERIFIED BY THE END USER. THE INFORMATION CONTAINED HEREIN SHALL NOT BE UTILIZED: (A) TO REVIEW OR ESTABLISH A CONSUMER'S CREDIT AND/OR INSURANCE ELIGIBILITY OR FOR ANY OTHER PURPOSE THAT WOULD CAUSE THE REPORT TO CONSTITUTE A "CONSUMER REPORT" UNDER THE FAIR CREDIT REPORTING ACT, 15 U.S.C. § 1681 ET SEQ.; OR (B) IN CONNECTION WITH CERTIFICATION OR AUTHENTICATION OF REAL ESTATE OWNERSHIP AND/OR REAL ESTATE TRANSACTIONS. ADDITIONAL TERMS AND CONDITIONS SHALL APPLY PURSUANT TO THE APPLICABLE AGREEMENT.
Copyright
CONFIDENTIAL, PROPRIETARY AND/OR TRADE SECRET. TM SM ® TRADEMARK(S) OF INTERCONTINENTAL EXCHANGE, INC. AND ITS SUBSIDIARIES AND AFFILIATES. © 2024 INTERCONTINENTAL EXCHANGE, INC. ALL RIGHTS RESERVED.


Please Use/Click on this Digital U lity Link


Most u lity service providers require you to go online, fill out a form and e-mail back, or use their online service.






















Banks
503 . 324 . 8591 | www.banks.k12.or.us
Beaverton
503 672 3721 | www.beaverton.k12.or.us
Canby
503 266 7861 | boundaries: 503 266 2064 | www.canby.k12.or.us
Centennial
503 760 7990 | www.centennial.k12.or.us
503 . 653 . 6000 | boundaries: 503 . 353 . 6119 | www.nclack.k12.or.us
Colton
503 824 3535 | boundaries: 503 824 3534 | www.colton.k12.or.us
David Douglas
503 . 252 . 7990 | www.centennial.k12.or.us
Estacada
503 . 630 . 6871 | www.esd108.k12.or.us
Forest Grove
503 357 6171 | boundaries: 503 359 8167 x 221 | www.fgsd.k12.or.us
Gladstone
503 . 655 . 2777 | www.gladstone.k12.or.us
Gresham / Barlow
503 . 618 . 2450 | www.gresham.k12.or.us
Hillsboro
503 844 1500 | boundaries: 503 648 9123 | www.hsd.k12.or.us
Lake Oswego
503 . 534 . 2000 | boundaries: 503 . 534 . 2490 | www.loswego.k12.or.us
Washington County (OR)
Multnomah County (OR)
Clackamas County (OR) 1.





This map/plat is being furnished as an aid in locating the herein described land in relation to adjoining streets, natural boundaries and other land, and is not a survey of the land depicted Except to the extent a policy of title insurance is expressly modi ed by endorsement if any the company does not insure dimensions, distances location of easements, acreage or other matters shown thereon





This map/plat is being furnished as an aid in locating the herein described land in relation to adjoining streets, natural boundaries and other land, and is not a survey of the land depicted Except to the extent a policy of title insurance is expressly modi ed by endorsement if any the company does not insure dimensions, distances location of easements, acreage or other matters shown thereon




OffersTakeout GoodforGroups
DogsAllowed FullBar
TakesReservations GoodforBrunch
Bird's-eyeView
Driving(5mi.)
Biking(2mi.) Walking(1mi.) Within4blocks
SponsoredResults Yolicious 5.0(1review)


BubbleTea IceCream&FrozenYogurt
Openuntil8:30PM
Family-owned&operated • Kidfriendly 7.7Miles
WeareservingthebestFrozenYogurtandBubbleTeaintown. more
BlackRockCoffeeBar 3.2(13reviews)
“Ilovethislocation!It'sinsuchaconvenientspot,rightoff122andHalsey, andeveryonewhoworkstherehasbeengreat.It'ssonicetoknow that…”more











4.5(19reviews)
BubbleTea IceCream&FrozenYogurt
CloseduntilNoon
Locallyowned&operated • Family-owned&operated 7.1Miles
“Niceadditiontodowntown.Thespaceisbright,bigandinviting.Serviceis great.Thedrinksaprettyexpensive,butitishighquality.Igotthe…” more

4.6(87reviews)
Hawaiian Japanese Coffee&Tea
Openuntil4:00PM
Locallyowned&operated • Grab-and-go 6.5Miles
“ThisisEXACTLYwhatwe'vebeenmissingsincemovingfromHawaii.We didn'tthinkwe'dfindamusubispottofillthevoid,butthemusubi was…”more

5.0(2reviews)
Desserts Filipino Coffee&Tea
Closeduntil10:00AMtomorrow
FreeWiFi • Vegetarianfriendly 4.4Miles
AllBakedgoodsareHandcraftedandSprinkledwithlove.Weserve SpecialtyCoffeeandInternationalCoffee,SpecialtyHotChocolate,andtea. Wesell…more
StartOrder

SonicDrive-In
FastFood Desserts Burgers
Openuntil11:00PM 6.1Miles
“UPDATE:Filledoutasurvey.Wasimmediatelycontactedbythemanager ofthestore,Kylin.FirstIchuckledalittletomyselfbecauseKylin was…”more
StartOrder

4.1(49reviews)
PanAsian CocktailBars TeaRooms SouthwestPortland
CloseduntilNoon
Locallyowned&operated • FreeWiFi 12.2Miles
“Okayfirstoffthefoodistrulyamazing!EverydishI'vetriediswonderful andtheyoungasianfemaleserverhasalwaysbeensosweetand…” more
StartOrder

4.0(117reviews)
Sandwiches Coffee&Tea IceCream&FrozenYogurt
Openuntil6:00PM
Locallyowned&operated • Petfriendly 5.8Miles
WeareawarmandfriendlysitdownCoffeeShopbytheColumbiaRiver. WeareproudtoserveCaffe'D'arteEspresso,alongwithyummysnacks and…more

4.1(121reviews)
NewAmerican SportsBars Karaoke $$ • NortheastPortland
CloseduntilNoon 0.06Miles
“BestdamnbarinPortland!!Ifyouhaven'tgonehere,pleasedo!The Bartendersareamazing,thefoodissoooogood,thebathroomsaresuper clean,…”more
StartOrder

4.6(406reviews)
BotanicalGardens CulturalCenter MeditationCenters NortheastPortland
Openuntil8:00PM
GrottoChristianGifts&BooksStoreandChapelofMaryatthislocation. 0.2Miles
“Beautifulspaceformeditationandprayer(ifthatisyourpractice).We wentBoxingDay,andhadweknownaboutthelights,wemighthavetimed our…”more

4.3(234reviews)
Cajun/Creole Seafood ChickenWings Roseway
CloseduntilNoon
Waitlistopensat3:00pm 0.8Miles
“Wonderfulexperienceeverytimewecome.Foodisdeliciousandserved quicklyandefficiently.Staffarereallyniceandhelpful.Kidsand even…”more
FindaTable

4.2(597reviews)
Breakfast&Brunch American CocktailBars $$ • NortheastPortland
Openuntil3:00PM 0.5Miles
“WhataGem!!Stoppedbyatthecoaxingofafriendwhohadgoneafew daysearlier-sogladIlistened!!ServiceisGreat,Parkingiseasy,Food is…”more

4.1(776reviews)
Vietnamese Noodles $$ • Madison-South
Openuntil7:45PM 1.1Miles
“Theveggiephowasverydelicious!Idefinitelyrecommendtryingit.There aremanyoptionsforvegansandvegetarianswhichIreallyenjoy.I really…”more

4.1(432reviews)
Breakfast&Brunch Diners American $$ • Parkrose Openuntil10:00PM
0.6Miles
“Elmer'salwayshitsandisconsistentlygood.VisitedtheoneinPoulsbo severalyearsagoandthenitclosedshortlyafter.Haven'tbeenback since…”more

4.4(324reviews)
AsianFusion $ • Madison-South Opensin4min
1.3Miles
“Upgradingtofivestars!Ilovewhenaspotmaybedoesn'tcheckallthe boxesforyou,butyougomoreandmore,andthereyougo.Gotour usual…”more
StartOrder

4.7(81reviews)
Noodles Vietnamese BubbleTea $$ • Parkrose Openuntil8:30PM
0.9Miles
“Wecamehereforalatelunch.Itislocatedinacornerofabusystreet.It hasasmallprivatelotinthebackoftherestaurant.Theinterioris…” more
StartOrder

4.1(520reviews)
Vietnamese Cambodian Chinese $$ • Roseway Openuntil9:00PM
1.3Miles
“IalwaysneedmyAsianfoodfixnomatterwhereIgoandthisplacedid notdisappoint.MyfamilyorderedtheirspecialtynoodlesoupPhnom Penh…”more
StartOrder

SponsoredResult
4.4(312reviews)
Mexican $ • Roseway Opensin4min
1.3Miles
“Greatfood,service,andambiance.Iwouldhighlyrecommendcoming here.Theyhavethebestchickenburritosintown!” more
StartOrder
About
AboutYelp Careers
Press
InvestorRelations
Trust&Safety
ContentGuidelines
AccessibilityStatement
TermsofService
PrivacyPolicy
AdChoices
YourPrivacyChoices

5.0(5reviews)
Desserts Belmont
CloseduntilFriday
4.0Miles
Webakeouroatmealcookiesfreshdailyinavarietyofflavors! more
1 2 3 4 5 6 7 8 9
NextPage
Can'tfindthebusiness?
AddingabusinesstoYelpisalwaysfree.
Gotsearchfeedback?Helpusimprove.
AcaiBowls
AirConditioningRepair ArtGalleries
BarsWithOutdoorSeating Beaches
CarWash CherryPicking
CliffJumping
CoinLaundry
BoatRepair
Addbusiness
ClassicCarRestoration
EstatePlanningLaw
FarmersMarket GlutenFreePizza GoldBuyers
JetSkiRental Lakes
Notaries RealEstateAgents
LongTermParking
RiverSwimming
RoofTopBar Salad ShavedIce
SplashPad
UniqueFunDiningExperiences
VeganIceCream Vietnamese
Discover
YelpProjectCostGuides Collections Talk Events
YelpBlog Support
YelpMobile Developers RSS
YelpforBusiness
YelpforBusiness
BusinessOwnerLogin
ClaimyourBusinessPage
AdvertiseonYelp
YelpforRestaurantOwners
TableManagement
BusinessSuccessStories
BusinessSupport
YelpBlogforBusiness
YelpDataforB2B
YelpDataforB2C
Copyright©2004–2024YelpInc.Yelp, , andrelatedmarksareregisteredtrademarksofYelp. SomeDataByAcxiom
Languages
English
Cities
ExploreaCity