Skip to main content

Homebook - 23270 SW Brittany Pl

Page 1

23270 SW Bri any Pl Sherwood, OR 97140
NW
Blvd,
190
Megan Barkman & Lisa Bradburn Premiere Property Group, LLC 1500
Bethany
Suite
Beaverton, OR 97006
Property Profile HOMEBOOK

WashingtonCountyParcelInformation

ParcelInformation

Parcel#:R2035183

TaxLot:2S132DA05800

SiteAddress:23270SWBrittanyPl

SherwoodOR97140-9476

Owner:MichaelMakowski

Owner2:BrittanyMakowski

OwnerAddress:23270SWBrittanyPl

SherwoodOR97140-9476

Twn/Range/Section:02S/01W/32/SE

ParcelSize:016Acres(6,970SqFt)

Plat/Subdivision:CascadeViewEstates02

Lot:35

Block:

MapPage/Grid:714-H1

CensusTract/Block:032104/1007

Land Improvement

CntyLandUse:1010-ResidentialImproved

LandUseStd:RSFR-SingleFamilyResidence

Neighborhood:Cpo5Sherwood-TualatinS1

Watershed:FannoCreek-TualatinRiver

PrimarySchool:ArcherGlenElementarySchool

HighSchool:SherwoodHighSchool

YearBuilt:1994

1stFloor:1,182SqFt

Garage:FinishedGarage-400 SqFt

AssessmentInformation

MarketValueLand: $283,89000

MarketValueImpr: $340,08000

MarketValueSpecial: $000

MarketValueTotal: $623,97000

AssessmentYear: 2023

AssessedValue: $349,50000

TaxInformation

LevyCode:8810

LevyRate:197379

TaxYear:2023

AnnualTax:$6,89840

Exemption:$000

Legal

CASCADEVIEWESTATESNO2,LOT35,ACRES016

CntyBldgUse:R1-ResidenceSingleFamily

Zoning:Sherwood-LDR-LowDensityResidential

Recreation:

SchoolDistrict:88J-Sherwood

MiddleSchool:SherwoodMiddleSchool

Bedrooms:4

2ndFloor:0SqFt

AtticFin/Unfin:0SqFt/0SqFt

A/C: BasementFin SqFt:1,138SqFt

Heat:ForcedAir

TransferInformation

SaleDate:10/12/2021

ExteriorWalls:WoodSheathing

SalePrice:$600,00000

DocNum:2021107757

Bathrooms:3

BuildingTotal:2,320SqFt

BuildingFin:2,320SqFt

BasementUnfin:

RoofCovering:CompostionShingle

DocType:DW

SentryDynamics,Inc anditscustomersmakenorepresentations,warrantiesorconditions,expressorimplied,astotheaccuracyorcompletenessofinformation containedinthisreport

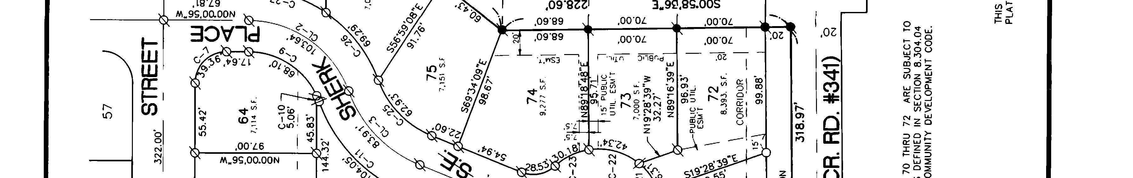
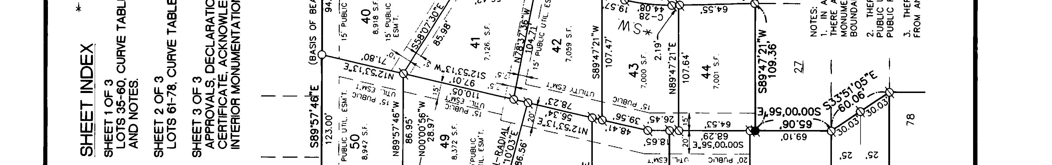
Thismap/platisbeingfurnishedasanaidinlocatingthehereindescribedLandinrelationtoadjoiningstreets,naturalboundariesandotherland,andisnotasurveyofthe landdepicted.Excepttotheextentapolicyoftitleinsuranceisexpresslymodifiedbyendorsement,ifany,theCompanydoesnotinsuredimensions,distances,locationof easements,acreageorothermattersshownthereon.

Thismap/platisbeingfurnishedasanaidinlocatingthehereindescribedLandinrelationtoadjoiningstreets,naturalboundariesandotherland,andisnotasurveyofthe landdepicted.Excepttotheextentapolicyoftitleinsuranceisexpresslymodifiedbyendorsement,ifany,theCompanydoesnotinsuredimensions,distances,locationof easements,acreageorothermattersshownthereon.
Property Owner Property Address 2023 Real Market Value R2035183 MAKOWSKI, MICHAEL JAMES & MAKOWSKI, BRITTANY LYNNE 23270 SW BRITTANY PL, SHERWOOD, OR 97140 $623,970 Property Page: Property Details 2024 GENERAL INFORMATION Property Status A Active Property Type Residential Legal Description CASCADE VIEW ESTATES NO.2, LOT 35, ACRES 0.16 Alternate Account NumberNeighborhood SSMC SOUTH SMOCKVILLE Map Number 2S132DA05800 Property Use 1010: RESIDENTIAL IMPROVED Levy Code Area 088.10 2023 Certied Tax Rate 19.7379 2024 OWNER INFORMATION Owner Name MAKOWSKI, MICHAEL JAMES & MAKOWSKI, BRITTANY LYNNE Mailing Address 23270 SW BRITTANY PL SHERWOOD, OR 97140 RELATED PROPERTIES Linked PropertiesProperty Group IDGrouped PropertiesSplit / Merge DateSplit / Merge AccountsSplit / Merge Message2023 IMPROVEMENTS  Expand/Collapse All 2023 LAND SEGMENTS STATE CODE SEGMENT TYPE LAND SIZE L1 01: SGL FAM IMP HS 0.16 acres TOTALS 0.16 acres CERTIFIED / IN PROCESS VALUES YEAR IMPROVEMENTS LAND RMV SPECIAL USE ASSESSED VALUE 2023 $340,080 $283,890 $623,970 $0 $349,500 2022 $333,160 $283,890 $617,050 $0 $339,330 HOME PAID USERS LOGIN  Improvement #1 Improvement Type Beds / Baths - Single-Family Residence 4 / 3  Sketch
Washington County Assessment and TaxationGuest

JOHN SEABOLD, MICHAEL SCOTT

SALES HISTORY SALE DATE SELLER BUYER INST # SALE PRICE INST TYPE 10/11/2021 FARNER,
2021107757 $600,000 DW
WESLEY
WESLEY
2020128325
DQ
FARNER,
2020045943
DBS
MARIE FARNER,
2019013974
6/29/2001 HERTEL,
2001066615
DW
2001000820
6/27/1994
1994062470
DW 10/19/1993
1994011824 $34,500 DW
JAMES WESLEY & FARNER, HEIDI MARIE MAKOWSKI, MICHAEL JAMES & MAKOWSKI, BRITTANY LYNNE
FARNER, JAMES
& FARNER, HEIDI MARIE FARNER, JAMES
& FARNER, HEIDI MARIE
-
FARNER, JAMES & HEIDI LIV TRUST
JAMES WESLEY & FARNER, HEIDI MARIE
-
FARNER, JAMES WESLEY & FARNER, HEIDI
JAMES & HEIDI LIV TRUST
- DBS
MARIAN FARNER, JAMES WESLEY & FARNER, HEIDI MARIE
$209,000
HERTEL, TIMOTHY A & MARIAN L HERTEL, MARIAN
- DBS
SEABOLD, MICHAEL SCOTT HERTEL, TIMOTHY A & MARIAN L
$176,000
WHITESELL,
Eective Date: TOTAL TAXES DUE Current Year Due $0.00 Past Years Due $0.00 Total Due $0.00
applicable, the described property is receiving special valuation based upon its use. Additional rollback taxes which may
due
on the provisions of the special valuation are
listing. TAX SUMMARY  Details TAXYEAR AD VALOREM SPECIAL ASMT TOTAL BILLED LEVY BALANCE INTEREST OWING DATE PAID TOTAL OWED 2023 $6,898.40 $6,898.40 $0.00 $0.00 11-62023 $0.00 2022 $6,172.07 $6,172.07 $0.00 $0.00 11-142022 $0.00 2021 $6,091.65 $6,091.65 $0.00 $0.00 10-142021 $0.00 2020 $5,991.33 $5,991.33 $0.00 $0.00 11-132020 $0.00 2019 $5,877.15 $5,877.15 $0.00 $0.00 11-142019 $0.00 2018 $5,699.66 $5,699.66 $0.00 $0.00 11-82018 $0.00 2017 $5,550.20 $5,550.20 $0.00 $0.00 11-92017 $0.00 2016 $5,373.90 $5,373.90 $0.00 $0.00 11-152016 $0.00 2015 $5,105.68 $5,105.68 $0.00 $0.00 11-192015 $0.00 2014 $5,049.69 $5,049.69 $0.00 $0.00 11-122014 $0.00 2013 $4,954.52 $4,954.52 $0.00 $0.00 11-122013 $0.00 2012 $0.00 $4,776.25 $0.00 $0.00 10-312012 $0.00 2011 $0.00 $4,646.48 $0.00 $0.00 11-82011 $0.00 2010 $0.00 $4,547.25 $0.00 $0.00 11-92010 $0.00 2009 $0.00 $4,437.19 $0.00 $0.00 11-122009 $0.00 2008 $0.00 $4,217.69 $0.00 $0.00 2-62009 $0.00 2007 $0.00 $4,185.48 $0.00 $0.00 5-192008 $0.00 $0 $0 $0 $0 $0 $0 $0 $0 $0 $0 $0 $0 $0 $0 $0 $0 $0
If
become
based
not indicated in this
TAXYEAR RECEIPT NUMBER TRANSACTION DATE VOIDED PAYMENT AMOUNT 2023 WASH2023-57494 11-6-2023 No $6,691.41 2022 WASH2022172034 11-14-2022 No $5,986.91 2021 WASH2021-27939 10-14-2021 No $5,908.90 2020 WASH2020110110 11-13-2020 No $5,811.59 2019 6062292 11-14-2019 No $5,700.84 2018 5828085 11-8-2018 No $5,528.67 2017 5624242 11-9-2017 No $5,383.69 2016 5442396 11-15-2016 No $5,212.68 2015 5287788 11-19-2015 No $4,952.51 2014 4985247 11-12-2014 No $4,898.20 2013 4756092 11-12-2013 No $4,805.88 2012 4494937 10-31-2012 No $4,632.96 2011 4317082 11-8-2011 No $4,507.09 2010 4081374 11-9-2010 No $4,410.83 2009 3889117 11-12-2009 No $4,304.07 2008 3770607 2-6-2009 No $1,405.89 2008 3750899 11-19-2008 No $2,755.56 2007 3584573 5-19-2008 No $1,395.16 2007 3532230 11-20-2007 No $2,734.51
Neighborhood Information HOMEBOOK
Page 1
Report Subject Property Location Report Date: 04/24/2024 Property Address 23270 SW BRITTANY PL Order ID: R146532123 City, State & Zip SHERWOOD, OR 97140-9476 County WASHINGTON COUNTY Property Use Single Family Residential Mailing Address 23270 SW BRITTANY PL, SHERWOOD, OR 97140-9476 Parcel Number 2S132DA-05800 Subject Property Address 23270 SW BRITTANY PL, SHERWOOD, OR 97140 APN 2S132DA-05800 Owner MAKOWSKI, MICHAEL JAMES & MAKOWSKI, BRITTANY LYNNE Lot Size (SF/AC) 6,970/.16 Bedrooms 4 Year Built 1994 Living Area (SF) 2,320 Bathrooms/Partial 3 Garage/No. of Cars Garage/2 Phones (267) 588-9869 Nearby Neighbor #1 Address 23256 SW BRITTANY PL, SHERWOOD, OR 97140 APN 2S132DA-05900 Owner DENTON, JUSTIN B & DENTON, SUSAN Lot Size (SF/AC) 6,970/.16 Bedrooms 4 Year Built 1997 Living Area (SF) 2,724 Bathrooms/Partial 3 Garage/No. of Cars Garage/2 Phones (503) 863-8281 Nearby Neighbor #2 Address 23288 SW BRITTANY PL, SHERWOOD, OR 97140 APN 2S132DA-04200 Owner WOOTON, SHANNON H & RICKARD, ROBERT W Lot Size (SF/AC) 6,970/.16 Bedrooms 3 Year Built 1994 Living Area (SF) 1,612 Bathrooms/Partial 3 Garage/No. of Cars Garage/2 Phones Nearby Neighbor #3 Address 23243 SW MANSFIELD ST, SHERWOOD, OR 97140 APN 2S132DA-04400 Owner ROMO, KELLY ANNE Lot Size (SF/AC) 6,970/.16 Bedrooms 3 Year Built 1995 Living Area (SF) 1,784 Bathrooms/Partial 3 Garage/No. of Cars Garage/2 Phones (503) 887-2464 Nearby Neighbor #4 Address 14845 SW SMOCK ST, SHERWOOD, OR 97140 APN 2S132DA-04300 Owner FLEMING FAMILY TRUST Lot Size (SF/AC) 6,970/.16 Bedrooms 3 Year Built 1994 Living Area (SF) 1,619 Bathrooms/Partial 3 Garage/No. of Cars Garage/2 Phones Nearby Neighbor #5 Address 23215 SW MANSFIELD ST, SHERWOOD, OR 97140 APN 2S132DA-04500 Owner LANNING, KRISTIN R & LANNING, STEPHEN M Lot Size (SF/AC) 6,970/.16 Bedrooms 3 Year Built 1995 Living Area (SF) 2,020 Bathrooms/Partial 2 Garage/No. of Cars Underground/Basement/2 Phones (503) 625-6492 Nearby Neighbor #6 Address 23242 SW BRITTANY PL, SHERWOOD, OR 97140 APN 2S132DA-06000 Owner RIESS, RICHARD P & RIESS, SUSANNE S Lot Size (SF/AC) 6,970/.16 Bedrooms 4 Year Built 1994 Living Area (SF) 1,628 Bathrooms/Partial 3 Garage/No. of Cars Garage/2 Phones
Nearby Neighbors
Page 2 Nearby Neighbor #7 Address 23277 SW BRITTANY PL, SHERWOOD, OR 97140 APN 2S132DA-06700 Owner FORNEY, DANIEL & FORNEY, TRISHA Lot Size (SF/AC) 6,970/.16 Bedrooms 4 Year Built 2003 Living Area (SF) 2,523 Bathrooms/Partial 4 Garage/No. of Cars Underground/Basement/4 Phones Nearby Neighbor #8 Address 23263 SW BRITTANY PL, SHERWOOD, OR 97140 APN 2S132DA-06600 Owner CARLSON CUSTOM HOMES INC Lot Size (SF/AC) 6,970/.16 Bedrooms 3 Year Built 1995 Living Area (SF) 2,016 Bathrooms/Partial 3 Garage/No. of Cars Underground/Basement/4 Phones Nearby Neighbor #9 Address 14939 SW SMOCK ST, SHERWOOD, OR 97140 APN 2S132DA-04100 Owner MERSHON, DONALD R Lot Size (SF/AC) 6,970/.16 Bedrooms 3 Year Built 1994 Living Area (SF) 1,836 Bathrooms/Partial 3 Garage/No. of Cars Garage/2 Phones Nearby Neighbor #10 Address 23249 SW BRITTANY PL, SHERWOOD, OR 97140 APN 2S132DA-06500 Owner OAKS, STEVEN C & OAKS, ANGELA K Lot Size (SF/AC) 6,970/.16 Bedrooms 3 Year Built 1995 Living Area (SF) 2,154 Bathrooms/Partial 3 Garage/No. of Cars Underground/Basement/2 Phones Nearby Neighbor #11 Address 23189 SW MANSFIELD ST, SHERWOOD, OR 97140 APN 2S132DA-04600 Owner DOLAN NICHOLAS ADAM & DOLAN, REBECCA JUSTINE SEDLAK Lot Size (SF/AC) 6,970/.16 Bedrooms 3 Year Built 1994 Living Area (SF) 1,575 Bathrooms/Partial 3 Garage/No. of Cars Garage/2 Phones Nearby Neighbor #12 Address 14868 SW SMOCK ST, SHERWOOD, OR 97140 APN 2S132DA-02500 Owner RONNINGEN, HALEY KRISTIN Lot Size (SF/AC) 7,405/.17 Bedrooms 3 Year Built 1994 Living Area (SF) 1,406 Bathrooms/Partial 2 Garage/No. of Cars Garage/2 Phones Nearby Neighbor #13 Address 23235 SW BRITTANY PL, SHERWOOD, OR 97140 APN 2S132DA-06400 Owner WAGNER, CHARLES A III & WAGNER, THERESA ANNE Lot Size (SF/AC) 6,970/.16 Bedrooms 6 Year Built 1995 Living Area (SF) 2,303 Bathrooms/Partial 3 Garage/No. of Cars Underground/Basement/2 Phones Nearby Neighbor #14 Address 14850 SW SMOCK ST, SHERWOOD, OR 97140 APN 2S132DA-02400 Owner AARDAPPEL, CHRISTOPHER J & GUNTHER-AARDAPPEL, MARIANA G Lot Size (SF/AC) 6,970/.16 Bedrooms 3 Year Built 1994 Living Area (SF) 1,739 Bathrooms/Partial 3 Garage/No. of Cars Garage/2 Phones

Disclaimer

THIS REPORT IS INTENDED FOR USE BY YOU AS AN END USER SOLELY FOR YOUR INTERNAL BUSINESS PURPOSES. YOU SHALL NOT RESELL, RELICENSE OR REDISTRIBUTE THIS REPORT, IN WHOLE OR IN PART. THE USE OF THIS REPORT BY ANY PARTY OTHER THAN YOURSELF FOR ANY PURPOSE IS STRICTLY PROHIBITED. THIS REPORT IS PROVIDED AS-IS WITHOUT WARRANTY OF ANY KIND, EITHER EXPRESS OR IMPLIED, INCLUDING WITHOUT LIMITATION, ANY WARRANTIES OF MERCHANTABILITY, NON-INFRINGEMENT, OR FITNESS FOR A PARTICULAR PURPOSE. INTERCONTINENTAL EXCHANGE, INC. (ICE) SHALL HAVE NO LIABILITY IN CONTRACT, TORT, OR OTHERWISE ARISING OUT OF OR IN CONNECTION WITH THIS REPORT. ICE DOES NOT REPRESENT OR WARRANT THAT THE REPORT IS COMPLETE OR FREE FROM ERROR. YOU UNDERSTAND AND ACKNOWLEDGE THAT THE AVAILABILITY, COMPLETENESS AND FORMAT OF THE DATA ELEMENTS MAY VARY SUBSTANTIALLY FROM AREA-TO-AREA. THE INFORMATION CONTAINED IN THIS REPORT IS DERIVED FROM PUBLICLY AVAILABLE SOURCES FOR THE SUBJECT PROPERTY OR COMPARABLE PROPERTIES LISTED ABOVE AND HAS NOT BEEN INDEPENDENTLY VERIFIED BY ICE THROUGH ANY FORM OF INSPECTION OR REVIEW. THIS REPORT DOES NOT CONSTITUTE AN APPRAISAL OF ANY KIND AND SHOULD NOT BE USED IN LIEU OF AN INSPECTION OF A SUBJECT PROPERTY BY A LICENSED OR CERTIFIED APPRAISER. THIS REPORT CONTAINS NO REPRESENTATIONS, OPINIONS OR WARRANTIES REGARDING THE SUBJECT PROPERTY'S ACTUAL MARKETABILITY, CONDITION (STRUCTURAL OR OTHERWISE), ENVIRONMENTAL, HAZARD OR FLOOD ZONE STATUS, AND ANY REFERENCE TO ENVIRONMENTAL, HAZARD OR FLOOD ZONE STATUS IS FOR INFORMATIONAL PURPOSES ONLY AND SHALL BE INDEPENDENTLY VERIFIED BY THE END USER. THE INFORMATION CONTAINED HEREIN SHALL NOT BE UTILIZED: (A) TO REVIEW OR ESTABLISH A CONSUMER'S CREDIT AND/OR INSURANCE ELIGIBILITY OR FOR ANY OTHER PURPOSE THAT WOULD CAUSE THE REPORT TO CONSTITUTE A "CONSUMER REPORT" UNDER THE FAIR CREDIT REPORTING ACT, 15 U.S.C. § 1681 ET SEQ.; OR (B) IN CONNECTION WITH CERTIFICATION OR AUTHENTICATION OF REAL ESTATE OWNERSHIP AND/OR REAL ESTATE TRANSACTIONS. ADDITIONAL TERMS AND CONDITIONS SHALL APPLY PURSUANT TO THE APPLICABLE AGREEMENT.

Copyright

CONFIDENTIAL, PROPRIETARY AND/OR TRADE SECRET. TM SM ® TRADEMARK(S) OF INTERCONTINENTAL EXCHANGE, INC. AND ITS SUBSIDIARIES AND AFFILIATES.

© 2024 INTERCONTINENTAL EXCHANGE, INC. ALL RIGHTS RESERVED.

Page 3
#15 Address 23248 SW MANSFIELD ST, SHERWOOD, OR 97140 APN 2S132DA-02000 Owner CREGER, DONALD A & CREGER, KRISTINE Lot Size (SF/AC) 6,970/.16 Bedrooms 4 Year Built 1993 Living Area (SF) 1,687 Bathrooms/Partial 2 Garage/No. of Cars Garage/2 Phones
Nearby Neighbor
Utilities HOMEBOOK

Please Use/Click on this Digital U lity Link

Most u lity service providers require you to go online, fill out a form and e-mail back, or use their online service.

Hereforthe OregonSchoolReportCards
School Information HOMEBOOK Click

School Information

Banks

503 . 324 . 8591 | www.banks.k12.or.us

Beaverton

503 672 3721 | www.beaverton.k12.or.us

Canby

503 266 7861 | boundaries: 503 266 2064 | www.canby.k12.or.us

Centennial

503 760 7990 | www.centennial.k12.or.us

North Clackamas

503 . 653 . 6000 | boundaries: 503 . 353 . 6119 | www.nclack.k12.or.us

Colton

503 824 3535 | boundaries: 503 824 3534 | www.colton.k12.or.us

David Douglas

503 . 252 . 7990 | www.centennial.k12.or.us

Estacada

503 . 630 . 6871 | www.esd108.k12.or.us

Forest Grove

503 357 6171 | boundaries: 503 359 8167 x 221 | www.fgsd.k12.or.us

Gladstone

503 . 655 . 2777 | www.gladstone.k12.or.us

Gresham / Barlow

503 . 618 . 2450 | www.gresham.k12.or.us

Hillsboro

503 844 1500 | boundaries: 503 648 9123 | www.hsd.k12.or.us

Lake Oswego

503 . 534 . 2000 | boundaries: 503 . 534 . 2490 | www.loswego.k12.or.us

McMinnville 503 565 4000 | www.msd.k12.or.us

Molalla River

503 . 829 . 2359 | boundaries: 503 . 829 . 2512 | www.molallariv.k12.or.us Newberg 503 554 5000 | boundaries: 503 538 8365 | www.newberg.k12.or.us

Oregon City 503 657 4283 | boundaries: 503 657 2471 | www.orecity.k12.or.us

Tigard / Tualatin

West Linn / Wilsonville

Woodburn

503 . 981 . 9555 | www.woodburn.k12.or.us

School Information
Oregon Trail 503 668 5541 | www.oregonrailschools.k12.or.us Parkrose 503 408 2100 | www.parkrose.k12.or.us Portland 503 916 2000 | boundaries: 503 916 3262 | www.pps.k12.or.us Reynolds 503 . 661 . 7200 | boundaries: 503 . 492 . 4921 | www.reynolds.k12.or.us
Sherwood 503 625 8100 | boundaries: 503 625 8107 | www.sherwood.k12.or.us
503 431 4000 | www.ttsd.k12.or.us
503 . 673 . 7000 | boundaries: 503 . 673 . 7034 | www.wlwv.k12.or.us

School Information

County G School Type Tuition Range A(%) E(#)C(#)M(#) U Washington County (OR) 1. Agia Sophia Academy PK-5 Montessori $6,600–8,300 95 30 12 Yes 2. Catlin Gabel School PK-12 College Prep $27,190–34,100 26 776 17 61 No 4. Forest Hills Lutheran Christian School PK-8 Lutheran $6,531–6,875 98 197 18 No 5. German International School PK-5 Language Immersion, INTL Baccalaureate $15,110–15,275 98 144 12 10 No 6. Holy Trinity Catholic School PK-8 Catholic $6,600–8,400 285 30 Yes 7. Horizon Christian School PK-12 College Prep $4,650–11,975 95 411 14 24 No 8 Islamic School of MET PK-12 Muslim College Prep $7,750–8,250 90 206 16 5 Yes 9. Jesuit High School 9-12 College Prep $15,475 71 1274 23 86 No 11. Living Wisdom School PK-8 Education for Life $7,200–9,100 95 38 12 No 12. Montessori School of Beaverton PK-6 Montessori $11,400–12,000 80 120 1010 No 13. Northwest Chinese Academy PK-5 Language Immersion $17,250–19,525 96 33 77 Yes 14. Oregon Episcopal School PK-12 College Prep $28,900–35,000 43 858 16 72 Yes 15. Pilgrim Lutheran Christian School PK-8 Christian $6,850–8,295 12512 5 Yes 16. St. Matthew Catholic School PK-8 Catholic $6,850–8,600 99 184 21 16 Yes 17. St. Pius X Grade School K-8 Catholic $7,240–9,430 85 492 3029 Yes 18. St. Stephen‘s Academy PK-12 Classical Christian $5,160–10,620 96 256 1610 Yes 19. Tualatin Valley Academy PK-12 Christian $4,980–9,108 99 175 20 8 No Grade Range Acceptance Rate A 2014-2015 Enrollment E G

School Information

County G School Type Tuition Range A(%) E(#)C(#) M(#) U Washington County (OR) 20. Valley Catholic Elementary School K-5 Catholic $8,520 337 13 Yes 21. Valley Catholic Middle School 6-8 College Prep $11,610 252 24 Yes 22. Valley Catholic High School 9-12 College Prep $14,685 370 28 No 23. Visitation Catholic School PK-8 Catholic $4,793–5,868 98 165 20 8 Yes Multnomah County (OR) 1. A Renaissance School of Arts and Sciences K-8 Progressive $14,440 90 115 8 9 No 2. Central Catholic High School 9-12 College Prep, Catholic $15,378–19,000 98 850 21 52 No 3. Childpeace Montessori School, Metro Middle School PK-8 Montessori $11,600–17,300 6 254 26 10 No 4. Columbia Christian School PK-12 Christian, College Prep $4,000–8,000 95 250 20 18 No 5. Edison High School 9-12 Learning Differences $24,650 50 102 9 14 No 6. French American International School PK-8 Language Immersion $18,296–21,113 79 451 16 48 No 7. Grace Lutheran School PK-8 Lutheran $2,825–6,695 95 88 22 1 No 8. Holy Redeemer Catholic School PK-8 Catholic $5,450–7,775 95 304 27 11 Yes 9. Northwest Academy 6-12 College Prep $22,900–24,400 75 240 15 26 No 10. Open Door Christian Academy PK-12 Christian $2,210–3,940 50 285 25 5 No 11. Pacific Crest Community School 6-12 College Prep $14,250 70 95 12 9 No Average Class Size C Required clothing or Uniforms? U Faculty with Master’s Degrees M

School Information

Grade Range Acceptance Rate A 2018-2019 Enrollment E G County G School Type Tuition Range A(%) E(#)C(#)M(#) U Multnomah County (OR) 12. Portland Christian Schools PK-12 College Prep $7,400–11,335 94 547 42 30 No 13. Portland Jewish Academy PK-8 Jewish $19,415–20,035 60 18818 No 14. St. Agatha Catholic School PK-8 Catholic $6,350–7,930 60 18818 No 15. St. Clare School K-8 Catholic $6,600–8,400 100 20726 Yes 16. St. John Fisher School K-8 Catholic $7,160–9,335 89 200 24 17 Yes 17. St. Mary’s Academy 9 - 12 College Prep $15,995 97 680 21 46 No 18. St. Rose School PK-8 Catholic $6,190–7,840 94 224 25 12 Yes 19. Sunstone Montessori School PK-6 Montessori $11,900–12,800 90 172 26 14 No 20. The International School PK-5 Language Immersion $19,040–19,640 87387 14 24 No 21. The Madeleine School K-8 Catholic $6,065–7,750 95 264 30 11 Yes 22. The Portland Montessori School PK-6 Montessori $10,725–11,600 80 151 24 7 No 23. Trinity Lutheran Christian School K-8 Lutheran $7,300 1005210 24. Tucker Maxon School PK-5 Independent $8,200–17,000 91 45 1212 No 25. Venn Academy K-8 Relationship BasedLearning $11,000 50-60 18 9 26. West Hills Christian School K-8 Christian $5,800–8,875 90 308 18 11 No 27 West Hills Montessori PK-6 Montessori $11,495–12,255 80 125 25 15 No

School Information

Average Class Size C Required clothing or Uniforms? U Faculty with Master’s Degrees M County G School Type Tuition Range A(%) E(#)C(#)M(#) U Clackamas County (OR) 1. Arbor School of Arts and Sciences K-8 Progressive $14,400 29 189 21 24 No 2. Christa McAuliffe Academy School of Arts and Sciences K-12 College Prep $3,995–8,795 100 380 10 12 No 3. La Salle Catholic College Prep 9-12 College Prep $14,750 85 703 19 45 No 4 Micha-el School PK-8 Waldorf $6,370–8,340 95 110 18 9 No 5. North Clackamas Christian School PK-12 Christian $6,353–7,860 95 263 1815 No 6. Park Academy 3-12 Learning differences $21,000 96 10 7. Portland Waldorf School PK-12 Waldorf $11,275–19,595 325 20 8. Spring Mountain Christian Academy K-12 Christian $3,460$4,440 90 165 12 4 No 9. St. John the Apostle Catholic School PK-8 Catholic $6,499 98 190 18 9 Yes 10. The Marylhurst School PK-8 Progressive $11,000 80 85 18 7 No Clark County (WA) 1. Cascadia School 1 - 6 Montessori $9,960–10,440 90 98 22 3 No 2. Cedar Tree Classical Christian School K - 12 College Prep $6,600–6,960 75 213 16 8 Yes 3. The Gardner School of Arts & Sciences PK - 8 Independent $16,950–18,550 37 10 4 Our Lady Of Lourdes Catholic School PK-8 Catholic $7,034–8,975 98 232 22 10 Yes

CC&R, BYLAW & DECLARATION

DISCLAIMER:

Omitted from this document is any covenant or restriction that is based upon, but not necessarily limited to, race, color, religion, sex, sexual orientation, familial status, marital status, disability, handicap, national origin, ancestry, source of income, gender, gender identity, gender expression, medical condition, or genetic information, as set forth in applicable state or federal law, except to the extent that such covenant or restriction is permitted by applicable law.

CC&Rs HOMEBOOK

Thismap/platisbeingfurnishedasanaidinlocatingthehereindescribedLandinrelationtoadjoiningstreets, naturalboundariesandother land,andisnota surveyoftheland depicted. Excepttotheextenta policyoftitleinsuranceisexpresslymodifiedbyendorsement, ifany, theCompanydoesnotinsuredimensions,distances, locationofeasements, acreageor othermattersshownthereon.

Thismap/platisbeingfurnishedasanaidinlocatingthehereindescribedLandinrelationtoadjoiningstreets, naturalboundariesandother land,andisnota surveyoftheland depicted. Excepttotheextenta policyoftitleinsuranceisexpresslymodifiedbyendorsement, ifany, theCompanydoesnotinsuredimensions,distances, locationofeasements, acreageor othermattersshownthereon.

Thismap/platisbeingfurnishedasanaidinlocatingthehereindescribedLandinrelationtoadjoiningstreets, naturalboundariesandother land,andisnota surveyoftheland depicted. Excepttotheextenta policyoftitleinsuranceisexpresslymodifiedbyendorsement, ifany, theCompanydoesnotinsuredimensions,distances, locationofeasements, acreageor othermattersshownthereon.

Thismap/platisbeingfurnishedasanaidinlocatingthehereindescribedLandinrelationtoadjoiningstreets, naturalboundariesandother land,andisnota surveyoftheland depicted. Excepttotheextenta policyoftitleinsuranceisexpresslymodifiedbyendorsement, ifany, theCompanydoesnotinsuredimensions,distances, locationofeasements, acreageor othermattersshownthereon.

Turn static files into dynamic content formats.

Create a flipbook