County Name: Washington
APN / Parcel Number: R2063039
Current Ownership: Jack Shelby & Abriana Wedin
Site Address: 22947 SW Hosler Way, Sherwood OR 97140
Mail Address: 22947 SW Hosler Way, Sherwood OR 97140 *Owner Occupied
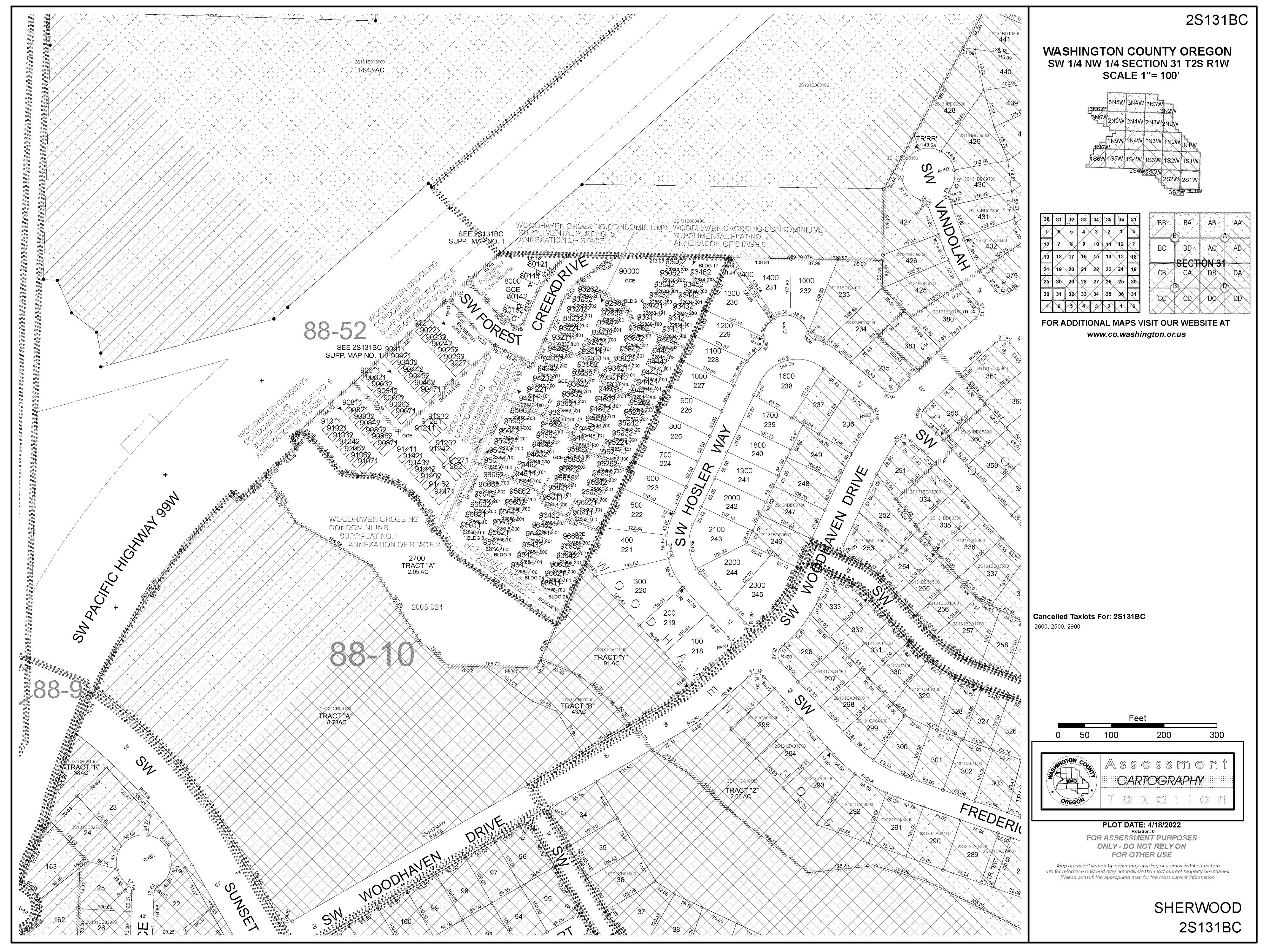
Tract / Subdivision: / Woodhaven 05
Census Tract / Block: 032112 / 3002 Lot / Block: 223 Twn / Rng / Sec / Qtr: 02S / 01W / 31 /
Property Characteristics
ParcelID:R2063039
SentryDynamics,Inc anditscustomersmakenorepresentations,warranties orconditions,expressorimplied,astotheaccuracyorcompletenessof informationcontainedinthisreport
SubjectProperty
ParcelID:R2063039
SiteAddress:22947SWHoslerWay SentryDynamics,Inc anditscustomersmakenorepresentations,warranties orconditions,expressorimplied,astotheaccuracyorcompletenessof informationcontainedinthisreport
ParcelID:R2063039
SiteAddress:22947SWHoslerWay
SentryDynamics,Inc anditscustomersmakenorepresentations,warranties orconditions,expressorimplied,astotheaccuracyorcompletenessof informationcontainedinthisreport
Details Bills PaymentHistory
2025GENERALINFORMATION
PropertyStatus AActive
PropertyType Residential
LegalDescription WOODHAVENNO.05,LOT223, ACRES0.13
AlternateAccountNumber -
Neighborhood WDHVWOODHAVEN
MapNumber 2S131BC00600
PropertyUse 1010:RESIDENTIALIMPROVED
LevyCodeArea 088.10
2024Certi edTaxRate 19.6325
2025OWNERINFORMATION
OwnerName SHELBY,JACK&WEDIN,ABRIANA
MailingAddress 22947SWHOSLERWAYSHERWOOD, OR97140
RELATEDPROPERTIES
LinkedPropertiesPropertyGroupIDGroupedPropertiesSplit/MergeDateSplit/MergeAccountsSplit/MergeMessage -
2024IMPROVEMENTS ļ Expand/CollapseAll
2024LANDSEGMENTS
CERTIFIED/INPROCESSVALUES
2/6/2023
11/22/2019
1/8/2018
6/3/2015
8/17/2001
BAYER-SMITH, LAURA&BAYERSMITH,JEREMIAH
FOSTER,THOMAS &FOSTER,NICOLE
CLAREY,JOHNL& CLAREY,JANET
CLAREY,BRUCEE& CLAREY,THERESA N
LANE,FIELDINGR JR&JOYCEA
3/21/1997 MITCHELL& HARDY CONSTRUCTION COINC
8/7/1996 QUINKSTER GENERAL PARTNERSHIP
SHELBY,JACK& WEDIN,ABRIANA 2023004979
BAYER-SMITH, LAURA&BAYERSMITH,JEREMIAH 2019086296
FOSTER,THOMAS &FOSTER,NICOLE
CLAREY,JOHNL& CLAREY,JANET 2015043885
CLAREY,BRUCEE& CLAREY,THERESA N 2001089398
LANE,FIELDINGR JR&JOYCEA
MITCHELL& HARDY CONSTRUCTION COINC 1996071824
TAXSUMMARY
$0.00
WASH2023106246
2022110998
Please Use/Click on this Digital U lity Link
Most u lity service providers require you to go online, ļ¬ll out a form and e-mail back, or use their online service.
SHERWOOD,OR97140-7748
County WASHINGTONCOUNTY
NearbyNeighbor#9
Address
ofCars
NearbyNeighbor#10
Address
ofCars
NearbyNeighbor#11
Address
Owner FLOWERS,JEFFREYALLAN&FLOWERS,CARMINALUCINDO
EITHEREXPRESS ORIMPLIED,INCLUDINGWITHOUTLIMITATION,ANYWARRANTIESOFMERCHANTABILITY,NON-INFRINGEMENT,
INC.(ICE)SHALL HAVENOLIABILITYINCONTRACT TORT,OROTHERWISEARISINGOUTOFORINCONNECTIONWITHTHISREPORT.ICEDOESNOTREPRESENTORWARRANTTHATTHEREPORTISCOMPLETEORFREEFROM ERROR.YOUUNDERSTANDANDACKNOWLEDGETHATTHEAVAILABILITY,COMPLETENESSANDFORMATOFTHEDATAELEMENTSMAYVARYSUBSTANTIALLYFROMAREA-TO-AREA.THEINFORMATION CONTAINEDINTHISREPORTISDERIVEDFROMPUBLICLYAVAILABLESOURCESFORTHESUBJECTPROPERTYORCOMPARABLEPROPERTIESLISTEDABOVEANDHASNOTBEENINDEPENDENTLYVERIFIEDBY ICETHROUGHANYFORMOFINSPECTIONORREVIEW THISREPORTDOESNOTCONSTITUTEANAPPRAISALOFANYKINDANDSHOULDNOTBEUSEDINLIEUOFANINSPECTIONOFASUBJECTPROPERTYBYA LICENSEDORCERTIFIEDAPPRAISER.THISREPORTCONTAINSNOREPRESENTATIONS,OPINIONSORWARRANTIESREGARDINGTHESUBJECTPROPERTY'SACTUALMARKETABILITY,CONDITION(STRUCTURAL OROTHERWISE),ENVIRONMENTAL,HAZARDORFLOODZONESTATUS,ANDANYREFERENCETOENVIRONMENTAL,HAZARDORFLOODZONESTATUSISFORINFORMATIONALPURPOSESONLYANDSHALLBE INDEPENDENTLYVERIFIEDBYTHEENDUSER.THEINFORMATIONCONTAINEDHEREINSHALLNOTBEUTILIZED:(A)TOREVIEWORESTABLISHACONSUMER'SCREDITAND/ORINSURANCEELIGIBILITYORFOR ANYOTHERPURPOSETHATWOULDCAUSETHEREPORTTOCONSTITUTEA"CONSUMERREPORT"UNDERTHEFAIRCREDITREPORTINGACT,15U.S.C.§1681ETSEQ.;OR(B)INCONNECTIONWITH CERTIFICATIONORAUTHENTICATIONOFREALESTATEOWNERSHIPAND/ORREALESTATETRANSACTIONS.ADDITIONALTERMSANDCONDITIONSSHALLAPPLYPURSUANTTOTHEAPPLICABLEAGREEMENT Copyright CONFIDENTIAL,PROPRIETARYAND/ORTRADESECRET TMSM®TRADEMARK(S)OFINTERCONTINENTALEXCHANGE,INC.ANDITSSUBSIDIARIESANDAFFILIATES. ©2025INTERCONTINENTALEXCHANGE,INC.ALLRIGHTSRESERVED.



Households Breakdown
Age Distribution
Area Schools
Assigned School
Primary School: Middleton Elementary School
Middle School: Sherwood Middle School
High School: Sherwood High School
Primary School
Middleton Elementary School 2
Middle School
Sherwood Middle School 3
High School
Sherwood High School 1
Other School
Subject Property
1. Sherwood High School
Address: 18800 Sw Haide Road District: Sherwood Sd 88J
Charter: No
Title 1 Elig: 2-No
Male / Female: 900 / 800
2. Middleton Elementary School
Title 1: 6-Not a Title I school
Address: 23505 Sw Old Hwy 99W District: Sherwood Sd 88J
Charter: No
Title 1 Elig: 2-No
3 Sherwood Middle School
0.43 mile(s)
Type: 1-Regular school
Students: 1,704
Grade Levels: 9th Grade - 12th Grade
0.45 mile(s)
Type: 1-Regular school
Students: 399
Title 1: 6-Not a Title I school Grade Levels: Prekindergarten - 5th Grade
Male / Female: 207 / 190 Distance: 0 62 mile(s)
Address: 16956 Sw Meinecke Rd District: Sherwood Sd 88J
Charter: No
Title 1 Elig: 2-No
Male / Female: 609 / 522
Type: 1-Regular school
Students: 1,135
Title 1: 6-Not a Title I school Grade Levels: 6th Grade - 8th Grade
Scan QR Code for CC&Rs
CC&Rs: Woodhaven #5
Compliments of Lawyers Title
What is an Escrow?
An escrow is a neutral third party depository for legal documents and funds necessary to complete a real estate transaction. The escrow agent will disburse funds and record documents for the proper recipients according to their written instructions.
What title insurance and escrow costs are incurred in a real estate sale?
The fee for escrow services is based on the sales price of the property. This fee is typically split equally between the Seller and Buyer. However, Buyers should check with their lenders if ļ¬nancing is involved because some federally insured lending programs do not allow borrowers to pay this fee. The Seller typically pays for a standard ownerās policy of title insurance which names the Buyer as the insured. Charges for this policy are based on the sales price of the property. The Buyer typically pays for a lenderās policy of title insurance and any required endorsements if they are obtaining a new loan to purchase the property. Charges for this policy are based on the loan amount.
What services does an escrow agent perform on behalf of the Seller and Buyer?
⢠Upon receipt of a mutual Earnest Money Agreement, Escrow will order a preliminary title report which is sent to interested parties involved in the transaction. The report will detail the current condition of the title to the property.
⢠Clears any liens or encumbrances against the property, per written instructions
⢠Prepares a closing statement for each party showing all credits and debits, including any funds due to close, or refund owed at closing. The escrow agent will schedule appointments for all parties to sign the necessary documents to complete the transaction.
⢠Returns signed loan documents to the lender to their review and approval.
⢠Records all necessary documents with the County Recorder's Office
⢠Disburses funds per written instructions and issues title insurance policies to the proper parties.
1
The Listing Agreement
The property owner (Seller) initiates a contract, or a listing agreement, with a licensed Real Estate Agent.
2
The Sale
Property owner (Seller) enters into a purchase contract, typically referred to as an Earnest Money Agreement (EMA), with a Buyer.
The Escrow
As part of the EMA, Seller agrees to purchase a title insurance policy for the Buyer and both agree to close the transaction with a licensed escrow company. In Oregon, most title insurance companies also oļ¬er escrow services to facilitate a convenient āone-stopā approach to closing real estate transactions.
ESCROW FLOW CHART
Receive and review Earnest Money Agreement and Brokerās instructions.
Open escrow. Order title report.
Determine ļ¬nancing.
Information gathering from Buyer and Seller.
Receive title report. Send copies to all parties in the transaction.
Resolve any title issues. Order any payoļ¬ demands.
Review ļ¬le. Are conditions satisļ¬ed? Contingencies removed?
Prepare closing statement, closing instructions and transfer deed
Obtain signatures on all escrow and loan documents. Collect any funds due from Buyer and/or Seller
Record applicable documents with the County Recorder's office.
Close ļ¬le. Prepare ļ¬nal statements. Disburse funds.
Forward ļ¬nal documents to all interested parties - Buyer, Seller, Real Estate Agents, Lender, Broker, Attorney, etc.
NEW LOAN
Notify Escrow with name of new lender and loan oļ¬cer.
Send title report to lender.
Notiļ¬cation of ļ¬nal loan approval. Are repairs complete?
Deliver Seller & Buyer Closing Disclosures. Buyersā consummation 3-6 days.
Loan documents delivered to escrow.
Return loan documents for final approval to fund and record.
Order loan funds.